UPenn CPLN 6000: Yeadon Comprehensive Plan

Page 1


IMAGINING YEADON 2035

A TEN-YEAR COMPREHENSIVE PLAN

UNIVERSITY OF PENNSYLVANIA, WEITZMAN SCHOOL OF DESIGN

SPRING 2024 CPLN 6000 STUDIO

TEAM MEMBERS

Hailey Hyun I Urban Design

Jake Kirschner I Housing, Community, and Economic Development

Lu Yii Wong I Land Use

Amy Cunniff I Housing, Community, and Economic Development

Christina Mitchell l Smart Cities

Shuai Wang I Smart Cities

Christian Butts l Sustainable Transportation and Infrastructure

INSTRUCTOR

Christina Arlt, AICP

CHAPTER 1 INTRODUCTION

Borough Overview

A small borough of about 12,000 residents1, Yeadon is a 1.6-square mile municipality located in Pennsylvania adjacent to Philadelphia and incorporated in 1893. This predominantly Black borough sits in eastern Delaware County north of Darby, south of Lansdowne, and west of Cobbs Creek Park, bordering Philadelphia’s Kingsessing and Mount Moriah neighborhoods. The Borough consists of three Census Tracts - Delaware County 4021, 4022, and 4023 - and one ZIP Code: 19050.

Location & Context

Given its geographic positioning, Yeadon serves as a suburban gateway borough into Delaware County from Philadelphia for traffic flowing in both directions on US Highway 13. Though relatively small, Yeadon’s location has been historically relevant to both the City of Philadelphia and Delaware County in their social, economic, and commercial progress and is home to two of the most important 19th century-era Pennsylvania cemeteries –Holy Cross and Mount Moriah.

In terms of major geographic features, Cobbs Creek runs along the Eastern edge of Yeadon, separating the borough from the City of Philadelphia, and Darby Creek runs along the west separating it from Lansdowne and Aldan.

12,000 Residents

1.6 Square Miles

Delaware County

Figure 1.2: Borough of Yeadon sign pictured in front of municipal services building. Source: Yeadon Team
Figure 1.4: Roundabout at Longacre Boulvard and Cypress Street. Source: Yeadon Team
Figure 1.3: Borough of Yeadon signpost with weather forecast. Source: Yeadon Team
Figure 1.1: Location of Yeadon relative to Delaware County and Philadelphia. Source: Yeadon Team

Plan Framework

There are many different definitions for a plan, but this plan looks comprehensively at Yeadon and identifies how to further enhance the quality of life in the borough over the next ten years, starting at the beginning of 2025 and continuing until the beginning of 2035. As such, the plan first assesses the past, provides a holistic overview of the present, and sets goals for the future of Yeadon.

As evidence detailed research into the current conditions of the borough, Yeadon is well-positioned to remain a strong community over the next decade and does not need interventions from planners in many aspects of its built environment and community life. Although the research into the existing conditions of the borough was comprehensive in nature, the goals and recommendations presented in this plan do not seek to address every topic covered in the Existing Conditions chapter. Rather, it builds upon the strong community foundation that is present in the borough and focuses on key areas in which room for improvement exists.

Furthermore, this plan recognizes the scope of urban planners in improving the built environment and community life and chooses to avoid policy recommendations outside of this purview, such as education policy in addressing the problems of the Penn Wood School District. Instead, in addressing such topics, the plan recommends community development techniques that might complement policy reforms in other realms.

Past Present Future

Historical Background

The Swedish Empire establishes Mölndal, New Sweden in the land of the Lenni Lenape natives

1645

William Penn lands in his chartered land and establishes Chester and Darby (incl. Yeadon) on the Delaware River

William T. Kerr establishes Flag Day celebrations on June 14 in Yeadon

Yeadon is incorporated as a Borough

1682 1888 1893

Early Settlement

The area now known as Yeadon was colonized by Europeans, but the land was originally occupied by the Lenni Lenape people.2 Yeadon Borough was formerly a part of Darby Township, an adjacent municipality founded as one of William Penn’s first planned settlements in 1683, before taking on its current incorporated borough status as a Pennsylvania township in 1893.3

Black History

Though important as an early European settlement, Yeadon is also home to several noteworthy places and moments relevant to Black history. For example, the Palmer House in the northeast of Yeadon may have served as an Underground Railroad safehouse for escaped slaves in the 1800s,4 the Hilldale Athletic Club based in Darby and Yeadon was one of the most successful Negro League baseball teams of the 1920s and won the Negro League World Series in 1925, the Nile Swim Club became the first African-American-owned swim club in the country in 1959,5 and the Lincoln and Fairview Avenues Historic District sits in the Northwest and were home to one of the only predominantly black American elite communities in the 20th century.6 Due to its proximity, it is also worth noting that nearby Lansdowne was a bustling colonial vacation city with a popular Golden-Age Theater that attracted residents from across the region.7

Figure 1.7: Palmer House, Northeast Yeadon (built in 1774)
Figure 1.6: Portrait of a young William Penn
Figure 1.8: Delaware County territories (circa 1862)
Figure 1.5: Tishcohan, Lenape Chief
Figure 1.9: Modern Flag Day Founded By Willam Kerr in 1888

The name “Yeadon” comes from an early landowning settler, William Bullock, who owned the land between what is now MacDade Blvd, Church Ln, and Baily Rd, and named his estate Yeadon Manor after his home in Yeadon, England, near Leeds.

Yeadon grows into a popular Philadelphia suburb

Yeadon invests in real estate and community development, including 1959’s Nile Swim Club

Yeadon sees demographic shift and becomes predominantly Black suburb

Yeadon focuses on revitalization and reinvestment efforts

1930s 1950s 1980s Present

Yeadon in Recent Decades

Although Yeadon was home to an affluent Black community for much of the 20th centuty, it was not until the 1980s that Yeadon became a predominantly Black borough, with the percentage of Black residents changing from 32% in 1980 and 66% Black in 1990.8 Today, Yeadon is still a predominantly Black borough, but the existing conditions of the area reflect a demographic and economic shift to a middleclass community with a significant immigrant population, with many residents having origins from Sub-Saharan Africa and the Caribbean.

Home of Flag Day

Yeadon holds a significant place in American history as the Home of Flag Day. While Bernard Cigrand of Wisconsin is often credited with the formal establishment of the holiday in 1886, William T. Kerr, a prominent Yeadon resident and the owner of a local newspaper, played a pivotal role in advocating for the celebration of the American flag’s birthday on June 14. Kerr’s national efforts to instill pride and reverence for the flag gained widespread attention, contributing to the establishment of Flag Day as a nationally recognized observance in 1949.9 Yeadon proudly honors Kerr’s legacy with an annual celebration that pays tribute to the Flag Day.

Figure 1.10: Sign of Mount Moriah Cemetery (est. 1855)
Figure 1.12: Historic Marker for Nile Swim Club (est. 1959)
Figure 1.11: Home of Lincoln Avenue, Yeadon Historic District

EXISTING CONDITIONS CHAPTER 2

Physical Conditions

Geography

Yeadon’s total land area is 1.59 square miles, which is approximately 90 times smaller than the size of Philadelphia. It is located west of Philadelphia and north of Darby in Delaware County. Some notable physical locations in Yeadon are Holy Cross Cemetery and Mount Moriah Cemetery, taking up almost a third of Yeadon’s total land mass. Holy Cross Cemetery is 225 acres in size with approximately 150,000 graves, while Mount Moriah Cemetery spans 200 acres in parts of eastern Yeadon, Cobbs Creek, and West Philadelphia. Cobbs Creek runs along the eastern edge of Yeadon, separating the borough from Philadelphia.

Major Cemeteries

Holy Cross Cemetery

Mount Moriah Cemetery

Graceland Cemetery

Major Open Spaces

Cobbs Creek

Darby Creek

Yeadon Community Park

Rap Curry Complex

Figure 2.1: Yeadon Boundaries Map. Source: Yeadon Team

Zoning Regulations

Figure 2.2 displays zoning districts in the borough. Some zoning categories in Yeadon include residential, commercial, institutional, industrial, and open space districts. These zoning districts are legally enforceable and define the permitted use on a site. The map on page 14 displays the actual land use by parcels in Yeadon today. Despite Institutional District being the most common zone type, Yeadon is otherwise mostly residential, with Double Family Residential, Single Family Residential, and Multi Family Residential comprising a combined 46% of the borough.

Figure 2.2: Yeadon Zoning Map. Source: DVRPC
Figure 2.3: Distribution of zoning in Yeadon. Source: DVRPC

Land Usage

Prominence of Cemeteries

As major land uses within and near Yeadon Borough, the cemeteries of eastern Delaware County hold great significance for the Greater Philadelphia area. Both founded in the 19th century and both individually home to far more graves (over 150,000) than the population of Yeadon (approximately 12,000 people), Mount Moriah Cemetery (founded 1855) and Holy Cross Cemetery (founded 1890) also each occupy over 200 acres of land.

Figure 2.5: Yeadon Land Use Map. Source: DVRPC
Figure 2.4: Distribution of land use in Yeadon. Source: DVRPC

Mount Moriah Cemetery Holy Cross Cemetery Graceland Cemetery

Mount Moriah Cemetery straddles Cobbs Creek with large dedicated plots of land in both Kingsessing and Yeadon. It was one of the first inclusive cemeteries in Philadelphia as it allowed Jewish, Muslim, and African-American burials during periods of segregation. Despite its historic importance to families of Greater Philadelphia and to the Union during the U.S. Civil War (with two Veterans’ Affairs-maintained military burial sites), Mount Moriah went into deep disrepair after unfortunate stewardship conditions left it without a caretaker for a significant portion of the 2010s. Since volunteer activism has stepped in, the cemetery has had a reemergence in communal support and beautification, which has improved its appearance and community benefits.

Holy Cross Cemetery is a Catholic cemetery owned by the Archdiocese of Philadelphia, but run by StoneMor Inc. since the Church decided to turn over operations in 2014. Given its scale and location in the Borough, Holy Cross Cemetery can be seen as one of the most prominent land uses, but may not have the same community value as the prominence may suggest.

Beyond these two more prominent cemeteries, Yeadon is also home to the much smaller Graceland Cemetery between Baily Road and Longacre Boulevard. This 1890s-era, three-acre cemetery in Northeast Yeadon was meant to occupy 90 acres as “North Mount Moriah Cemetery,” but the Borough prevented further land speculation and development by local cemetery companies, so the cemetery remained the same size.

Figure 2.6: Mount Moriah Cemetery. Source: Yeadon Team Figure 2.7: Holy Cross Cemetery. Source: Yeadon Team Figure 2.8: Graceland Cemetery. Source: Yeadon Team

Commuting Modes in Yeadon

Car Reliance & Commuter Nature of Borough

Although Yeadon is a multimodal borough in theory, with sidewalks lining its residential and commercial streets, several access points to public transportation, and designated bike roads, it is a car-reliant borough in practice. Like other suburban boroughs in Delaware County, Yeadon residents rely on cars as their primary form of transportation. Approximately 69% of commuters use cars to get to work, a 3% increase over the last decade.

Another defining characteristic of the borough is the presence of a 1.5-mile stretch of US Highway 13, a 518-mile highway that runs along Church Lane and MacDade Boulevard. The road runs through all of the main commercial corridors in Yeadon and serves as one of the main connecting arteries from Philadelphia to southern Delaware County. As a result, it is flooded with cars at most hours of the day. However, the section of the highway in Yeadon is a dense, two-lane road that runs through mostly residential areas, with a speed limit of 25 MPH on Church Lane and 35 MPH on MacDade Boulevard. As a result, the road usually feels busier than it should be, creating an obstacle to both walkability along those roads and the commercial corridors.

Changes in Average Commuting Time

Figure 2.9: Commuting modes in Yeadon. Source: 2011 and 2021 Five-Year American Community Survey
Figure 2.10: Changes in average commuting time in Yeadon, Delaware County, and Philadelphia. Source: 2011 and 2021 Five-Year American Community Survey

Public Transit

Regional Rail: Media/Wawa Line

The borough is accessible to and from Philadelphia and western Delaware County on the Media/Wawa Regional Rail Line, with a stop at the northern border of Yeadon. According to SEPTA, the trains run every 30 minutes during peak hours, and every 60-90 minutes during off-peak hours.

Bus: Lines 68, 108, 113, and 115

Yeadon also has four bus routes that run through the borough – Routes 68, 108, 113, and 115 – which run along Church Lane and Lansdowne Avenue. While the lines are scheduled to run every 1530 minutes, this can vary depending on the line.

Trolley: Line T3

Trolley Line T3 (formerly 13) has multiple stops in Yeadon and runs southwest along Chester Avenue, offering service to Darby Transportation Center and Center City. This route runs every 5 minutes during peak hours, and every 10-15 minutes during off-peak

Figure 2.11: Yeadon Public Transit Map. Source: SEPTA
Figure 2.12: Darby Transportation Center. Source: Yeadon Team.
Figure 2.13: Fernwood-Yeadon Regional Rail. Source: Yeadon Team.
Figure 2.15: SEPTA Trolley Stop for Line T3. Source: Yeadon Team.
Figure 2.14: SEPTA Bus Stop for Lines 68 and 108. Source: Yeadon Team.

Bike Infrastructure

Cycling infrastructure is underdeveloped in Yeadon. Despite PennDOT designating some roads as bike routes, such as Baily Road and Longacre Boulevard, there is a lack of clear demarcation, leading to less separation between motor vehicles and bikes causing clear safety concerns.

In general, Yeadon has been impacted by car-oriented design, so there are multiple gas stations on main roads in the borough, encouraging car use rather than other forms of transport. Additionally, vehicles often drive over 30 miles per hour on many of Yeadon’s central roads.

Walkability

Overall, the borough of Yeadon holds a strong Walk Score of 77, rated as “Very Walkable” by WalkScore.com, due to its sidewalk infrastructure and proximity to businesses and other amenities. The quality of the sidewalk infrastructure is relatively high in most parts of Yeadon, with separation from vehicle traffic and sidewalks that are safe to walk on. This is especially true in primarily residential areas in the northern part of Yeadon, including near the public schools and library.

Figure 2.16: Yeadon Bike Infrastructure Map. Source: DVRPC Bike Network
Figure 2.19: Crosswalk Infrastructure in Residential Area. Source: Yeadon Team.
Figure 2.20: Sidewalk Infrastructure along Church Lane. Source: Yeadon Team.
Figure 2.17: Crosswalk across Church Lane. Source: Yeadon Team.
Figure 2.18: Intersection at Church Lane and Baily Road. Source: Yeadon Team.

Accessibility

Despite the mostly high sidewalk coverage evidenced in Figure 2.21, there are several challenges to walkability in Yeadon. Along busy sections of Church Lane and McDade Boulevard, walking is harder in practice because of narrower sidewalks, fast-moving vehicles along US Highway 13, and loud noise. The southern part of Yeadon sees less developed sidewalks and poor pedestrian access, with no sidewalks at all along many streets set aside for apartment building parking. Additionally, the Fernwood-Yeadon Station only offers connectivity for the eastbound and westbound platforms via the sidewalks of the US-13 bridge, with no elevator. This poses accessibility challenges for any passenger in Yeadon looking to travel, but especially those with physical disabilities. Finally, the sidewalk to Cobbs Creek Park along Longacre Boulevard is run-down and incomplete, forcing pedestrians to walk in the road or in grass while traveling to Cobbs Creek Park in neighboring West Philadelphia.

In visiting the borough, it is clear to see that many residents, including children, use the sidewalks to walk through the neighborhood, but Yeadon certainly does not emulate the same walking-centric lifestyle that is prevalent in many parts of neighboring Philadelphia.

Figure 2.21: Yeadon Sidewalk Coverage Map. Source: DVRPC Sidewalk Gap Analysis
Figure 2.22: Pedestrian Bridge on US-13. Source: Yeadon Team.
Figure 2.23: SEPTA Bus Stop and US-13. Source: Yeadon Team.
Figure 2.25: Sidewalk Infrastructure along Cobbs Creek Park. Source: Yeadon Team.
Figure 2.24: Parking Lot in Southern Yeadon. Source: Yeadon Team.

Natural Environment

As a gateway to Philadelphia, Yeadon provides easy access to city amenities while maintaining its own distinct character. Despite its proximity to an urban setting, Yeadon boasts significant green spaces and outdoor recreational areas. Cobbs Creek, running along the eastern side of the borough, provides opportunities for fishing, golf, picnics, and leisurely walks. Borough parks, like Kerr Field and Walnut Park, offer additional spaces for community gatherings and outdoor activities.

Yeadon values environmental preservation, evident in its wellkept parks, tree-lined streets, and conservation efforts. Residents enjoy a good balance of city life and nature, whether exploring local parks or venturing into Philadelphia for cultural experiences. Yeadon’s charm lies in its suburban-esque ability to offer the best of both worlds—a connection to the urban energy of Philadelphia alongside the tranquility of natural surroundings.

Watershed & Flooding

Cobbs Creek and Darby Creek not only provide water to Yeadon through its integrated utility system but are also important in understanding its history as an agricultural borough, its existing conditions related to flooding resilience, and its future as part of Greater Philadelphia’s green space solutions.

To mitigate flooding risks, Yeadon implements stormwater management systems, green infrastructure projects, and floodplain regulations. These efforts aim to reduce the impact of flooding on residents, infrastructure, and the environment. Though close in proximity, Yeadon’s separation from the actual waterbodies of the Cobbs and Darby Creeks means that residents must leave the borough to enjoy the designated trails on the West Philadelphia and Darby sides of the two creeks, respectively.

Figure 2.26: Yeadon Flood Zone Map. Source: Yeadon Team.
Figure 2.27: Cobbs Creek Park. Source: Yeadon Team.
Figure 2.28: Cobbs Creek Park. Source: Yeadon Team.

Open Spaces

The last of the remaining land available for real estate development in Yeadon was developed in the 1960s, and the borough has since been completely built out for decades. Therefore, currently vacant lots only comprise 1% of the total land in the borough. Though few in number, vacant lots in key locations within Yeadon present opportunities for strategic development projects, which are discussed later in this plan and pictured to the right (Figures 2.29 and 2.30).

Yeadon lacks an official Delaware County park or trail, as nearby Kent Park in Upper Darby is the closest county park. However, open space can be found at Yeadon Community Park, the new Rap Curry Sports Complex that features several fields for Penn Wood High School’s athletic teams (opened in Fall 2023), and adjoining fields near its two elementary schools, Evans Elementary School and Bell Avenue Elementary School. Additonally, Yeadon resdients can travel to nearby public spaces at Mount Moriah Cemetery, which is accessible via Cobbs Creek Parkway, and along Cobbs Creek Trail off Longacre Boulevard. Holy Cross Cemetery also has 225 acres of open space, but it is currently only open to the public by appointment.

Figure 2.31: Yeadon Community Park.
Source: Yeadon Team.
Figure 2.32: Rap Curry Athletic Complex Kerr Field. Source: Yeadon Team.
Figure 2.34: Chester Avenue Vacant Lot. Source: Google Maps.
Figure 2.33: Northern Church Lane Vacant Lot. Source: Yeadon Team.
Figure 2.29: Percentage of Cemeteries and Open Space. Source: DVRPC.
Figure 2.30: Percentage of Vacant Lots. Source: DVRPC.

Demographics

Population

Per the 2021 Five-Year American Community Survey, Yeadon has a population of 12,017 residents. Because the borough is all but completely developed, this population has remained stable between 11,000 and 12,000 residents since 1970. However, the population slightly dropped between 2000 and 2010, and the 2020 Census report of 12,054 residents represented a 5.3% increase over the 2010 Census count of 11,443 residents. This is likely a result of a net inflow of migration instead of natural increase; according to the 2021 Five-Year ACS, approximately 58% of households moved into their house since 2010.

According to the 2020 Census, Yeadon is the second-most populated borough in Delaware County behind Chester. Thus, despite its small-town feel, it is actually one of the most populated municipalities in the county.

Family Structure

The Five-Year ACS from 2021 indicates that there are proportionately fewer families in Yeadon compared to the county and nation. For example, one of the most common household types is a householder living alone at 29% compared to 18% for the county and just 15% nationwide. Married couple households comprise just under 28% of the households in Yeadon, far less than the 47% of households in Delaware County and the United States. Only 21% of the households in Yeadon have children under the age of 18 compared to about 29% in the county and nation. Finally, over 50% of households in Yeadon are run by female householders with no spouse or partner present, which constitutes the most common household type. Meanwhile, female householders with no spouse or partner present only comprise 31% of households in the county and 27% of households nationwide. The average household size in Yeadon in 2021 is 2.34 residents, while the average family size is 3.27 residents.

Race

Today, Yeadon is a predominantly Black borough, with the Black population making up about 90% of the total. White residents make up about 9% of the population, while all other races together make up about 1% of the population. Less than 1% of residents identify as Hispanic or Latino.

Despite its current identity as a Black suburban enclave, Yeadon was historically a predominantly white suburb, even at the time of the founding of the Nile Swim Club. For example, in 1970, the population was only 14% Black. The population’s racial composition most dramatically changed in the 1980s, and by 1990, the population had evolved into a majority Black suburb, with 66% of residents identifying as Black.

Overall, the borough has a population that skews slightly older than the age distribution of the United States as a whole. Between 2011 and 2021, there was a significant growth of about 11% in its population aged 55 years and older from 26% to 37%.

Conversely, Yeadon has seen a decrease in its younger and schoolaged population. The group under the age of 24 dropped by nearly 8% from 32% in 2011 to 24% in 2021. Additionally, the workingage population of 25 to 44 increased from 25% to 29%, while the population of those in the later years of employment (aged 45-54) decreased from 16% to 10%.

Figure 2.36: Age Distribution in Yeadon Between 2011 and 2021. Source: 2011 and 2021 FiveYear American Community Survey.
Figure 2.35: Race Change in Yeadon from 1970 to 2020. Source: 1970-2020 Decennial Census.
Yeadon
Population by Percentage
Historical Race Change in Yeadon

Household Income

In 2021, the median household income was $55,988, which was lower than the median household incomes observed in Delaware County and the United States overall. This median household income in Yeadon was approximately $22,000 and $13,000 less than the county and national median, respectively. Despite this disparity, it contains a lower percentage of both households making under $35,000 (20%) compared to Delaware County (22%) and the United States (25%). On the other hand, the percentage of households making above $100,000 (19%) is also smaller than the county (40%) and nation (34%). Thus, income inequality is less apparent in Yeadon, and the household income distribution skews closer to the middle.

Median Household Income in 2021

Educational Attainment

The high school educational attainment rate of residents in Yeadon is comparable to that of Delaware County and the United States. Around 94% percent of residents over the age of 25 are high school graduates, while 94% of Delaware County and 89% of the United States graduated high school. However, the percentage of residents of Yeadon who received a bachelor’s degree or higher is notably lower at 26% compared to 43% in Delaware County and 35% of the United States. However, 36% of Yeadon residents completed some college or received an associate degree.

Education Attainment in 2021

Consistent with the middle-income distribution of household incomes in the borough, Yeadon has fewer people, families, and children in poverty than the county and nation. However, the largest concentration of households and individuals living in Yeadon by far is in the westernmost census tract. In this census tract, 23% of all people and 32% of children live below the poverty line.

Figure 2.37: Median Household Income Across Yeadon, Delaware County, and Pennsylvania. Source: 2021 Five-Year American Community Survey.
Figure 2.38: Education Attainment Across Yeadon, Delaware County, and Pennsylvania. Source: 2021 Five-Year American Community Survey.

Immigration

Yeadon has a strong immigrant population that not only is represented in their demographics, but also influences the economy and culture of the borough, which is discussed later in the section. Seventeen percent of the population is foreign born, and the strongest concentration of non-native born residents is the southern part of the borough closest to Darby, where 30% of the population is foreign born. As of 2021, 68% of immigrants living in Yeadon arrived there before 2010, evidencing an established population that has been in the United States for years. The southern portion of Yeadon, close to transit stops leading into Darby and Philadelphia, also had the highest percentage of people who speak a different language at home with 12% of the total population. Most of the immigrants in Yeadon came from Sub-Saharan Africa, amounting to 42% of the total immigrant population in Yeadon. This was followed by immigrants from Latin America, which includes the Caribbean, at 17% of the immigrant population. Thirty-eight percent of the immigrant population does not hold U.S. citizenship. The 2011 Five-Year ACS showed a similarly strong immigrant population, highlighting that Yeadon has long been a hub for immigrant individuals and families.

Key Demographics

African American

Ninety percent of Yeadon’s population identifies as Black. The borough is historically Black, and is well-known as one of the first upper-middle class Black suburbs in the United States.

African Immigrant

As of 2020, 15 percent of residents in Yeadon are foreignborn, and 62% of immigrants in Yeadon are African, specifically from Sub-Saharan Africa.

Caribbean Immigrant

As of 2020, 15 percent of residents in Yeadon are foreignborn, and 36% of immigrants in Yeadon are from Latin America.

Aging Population

Yeadon has an aging population. Between 2011 and 2021, there was a significant growth of about 11% in its population aged 55 years and older. Conversely, Yeadon has seen a decrease in its younger and school-aged population. The age cohort under the age of 24 dropped by nearly 9 percent between 2011 and 2021.

Disabled Population

Fourteen percent of Yeadon’s population has a disability, most of which are associated with disabilities that seniors might encounter as they age. The most common disability across the three census tracts is ambulatory difficulties (682, or 24%). This is followed by independent living difficulties (20%); hearing difficulties (17%); cognitive difficulties (16%); vision difficulties (12%); and selfcare difficulties (10%).

Figure 2.39: Aunty K’s West African Restaurant in Yeadon. Source: Yeadon Team

Spatial Differences in Demographics

Although Yeadon covers a small area of 1.59 square miles, it encompasses three census tracts, namely Delaware County Census Tracts 4021, 4022, and 4023, which display several demographic and socioeconomic differences. In this section, the census tracts shown on Figure 2.40 will be referred to as central Yeadon, western Yeadon, and southern Yeadon, respectively. Central Yeadon is the most populated census tract within the borough, while also serving as the borough’s commercial center. The highest concentration of married-family households also resides in central Yeadon, comprising more than 12% of the total population. The largest percentage of the population that is foreign-born population resides in southern Yeadon, with almost 30% of the population born outside of the United States and 14% of the total population without U.S. citizenship. Of this population, almost 69% of the population was born in Africa, while 31% was born in Latin America. However, the population of southern Yeadon that speaks Spanish or identifies as Hispanic is nearly nonexistent, implying that these Latin American immigrants most likely came from Jamaica or other English-speaking Caribbean countries.

Other key differences in the demographics of southern Yeadon are that it is the census tract most reliant on public transportation, with almost 23% of housing units without a vehicle and 17% of the labor force choosing to commute to work on public transportation.

Figure 2.40: Spatial differences by census tract in Yeadon. Source: 2021 Five-Year American Community Survey

Built Environment Housing

Housing Characteristics

There is a wide variety of housing typologies across Yeadon. The most common housing type are duplexes. These housing types fall under the category of 1-unit attached homes.

Yeadon has a low vacancy rate of 5.3%. The borough also has an older housing stock, as 66.2% of its housing units were built before 1960, and only 2.2% of units were built after 2000. In total, 39.2% of all households were paying 30% or more of their income on housing, indicating that a significant proportion of households were facing a housing burden in 2021. Figure 2.42 displays the proportion of housing units by type. Forty-four percent of all housing units were 1-unit attached, and 15% were 2-unit homes.

Between 2011 and 2021, Yeadon had a large shift in its primary housing type. Although very few new homes were introduced into the local housing stock, there was a large drop in 1-unit detached homes and a rise in 1-unit attached and 2-unit homes. Yeadon’s owner and renter distribution was almost equally split in 2021, with 48% of residents being renters. While this distribution is not unusual, there was a significant change in household tenure type from 2011, when only 34% of residents were renters.

According to DVRPC, Yeadon Borough only issued 17 building permits between 2010 and 2016, all of which were issued between 2010 and 2014. The low number of new residential construction permits issued suggests that the change in housing stock is being driven by unit conversions or a change in classificaiton rather than by new construction.

Share of Structures in Yeadon by Year Built

Housing Type in Structure

Figure 2.41: Structures in Yeadon by Year Built. Source: 2021 Five-Year American Community Survey.
Figure 2.42: Housing Types in Yeadon. Source: 2021 Five-Year American Community Survey.

Diversity of Housing Typologies

Low Density, Single Family Detached

In the western part of the borough, older, single-family detached homes with large lots can be found along Lincoln Avenue. These are the types of houses that could be expected in an older suburb of a large American city.

Medium Density, Single Family Detached

Smaller single family detached houses were individually built in the northern and western parts of the borough and mass-produced in the southern part of the borough in the years following World War II.

High Density, Three-Story Single Family Detached

Along the commercial corridor of Church Lane near the train station, a number of large three-story single-family homes on small lots are clustered together.

Uniform Duplexes

The most common housing type in the borough is the duplex, which were uniformly built along blocks throughout the 20th century. However, the facades and layouts of the duplexes vary dramatically from block to block.

Individually Built Duplexes

Other duplexes in Yeadon, usually those built on larger lots in the northern part of the borough, feature several unique architectural characteristics and exterior designs.

Large Apartment Complexes

Five apartment complexes of more than 20 units are located in Yeadon. Parkview Court, the largest of the complexes by far at 960 units, comprises the majority of the southernmost census tract.

Figure 2.43: Housing in Yeadon. Source: Yeadon Team

Housing Market Affordability

Yeadon generally has an affordable housing market relative to Delaware County and Philadelphia. The average costs of homeownership and renting in the borough are similar to submarkets in the surrounding areas (see Figure 2.44). However, it is more affordable than the averages of both Delaware County and Philadelphia in both cases. Owning was slightly more expensive than renting in Yeadon, with the average mortgage at $1,333 in 2021, while the median rent was $1,083 as of January 2024 according to CoStar. On a monthly basis, using the Yeadon median household household income of $55,988 as a reference point, this comprises 29% of monthly income for owners and 23% of monthly income for renters, further highlighting its affordable nature.

$125,000 à $222,500

$125,000 à $222,500

Commercial

Corridors

Although most of Yeadon is made up of residential neighborhoods, the commercial activity in the borough is overwhelmingly concentrated in three distinct commercial districts, which are mostly along US-13. Contrary to the stereotype of modernday American suburbs flooded with national corporate brands, Yeadon is a thriving hub for small business, with dozens of small businesses and the only chain stores in the borough being a Dollar General, a 7-Eleven, a CVS Pharmacy, and two gas stations. The range of cuisines in Yeadon is also quite broad, reflecting the strong presence of the immigrant population. The types of cuisines include West African, Jamaican, Halal, soul, deli, pizza, fried chicken, and seafood.

Figure 2.45: Commercial Corridors of Yeadon. Source: Yeadon Team.
Figure 2.44: Housing Values and Rental Costs in Yeadon. Source: CoStar.
Figure 2.46: Yeadon Commercial Corridor Overview. Source: Yeadon Team.

Five Restaurants

Two Gas Stations

Two Tax Services Center

Two Vehicle Repair Shops

Two Distribution Service Centers

Small Businesses: dry-cleaning shop, optometrist, dance

Northern Church Lane
Figure 2.47: Northern Church Lane Commercial Corridor. Source: Yeadon Team.

Southern Church Lane

Figure 2.48: Southern Church Lane Commercial Corridor. Source: Yeadon Team.
Figure 2.49: Yeadon Plaza Shopping Center. Source: Yeadon Team.

Industrial District

Outside of its primary commercial corridor on Church Lane, the northern side of Yeadon features several warehouses that anchor the industrial side of employment in the Borough. Mostly sitting between Baily Road, Church Lane, Baltimore Avenue, and, appropriately, Industrial Park Drive, the industrial park area of Yeadon features warehouse-style buildings for small businesses in the Manufacturing, Chemical, Petroleum Products, Building Materials, Distribution, and Event Management industries who find good use for the additional building space.

Nearby Hospital and Senior Services

Sitting just outside of Yeadon’s western border in Darby, Mercy Fitzgerald Hospital is a general medical and surgical hospital that provides a wide range of healthcare services, including emergency care, surgery, diagnostic imaging, maternity services, and various specialty clinics. As part of the Mercy Health System, Mercy Fitzgerald Hospital is dedicated to delivering high-quality, compassionate care to patients in the Yeadon area and surrounding communities.

As a pillar of the community, the hospital not only provides crucial healthcare services but also contributes to the local economy and serves as a hub for wellness initiatives and community outreach programs. Furthermore, Yeadon benefits from various senior services, including assisted living facilities, nursing homes, and senior activity centers that are located just north of the hospital, such as Apprise, Senior Community Services, Bedrock Care, and ManorCare Yeadon. These facilities play a vital role in supporting the aging population’s needs and enhancing their quality of life within the community.

Figure 2.50: Mercy Fitzgerald Hospital. Source: Yeadon Team.
Figure 2.51: Hospital System. Source: Yeadon Team.

Real Estate Market Analysis

Retail

According to CoStar, Yeadon has approximately 224,000 square feet of retail space in 40 properties, with an average monthly rent of $15.22 per square foot, which acts as the standard metric for rent in the industry. Compared to Philadelphia’s average rent per square foot of $24.32 and Delaware County’s rent of $20.90, Yeadon identifies itself as an affordable market for retail space. Vacancy, which is defined as the percentage of space without a tenant and includes abandoned properties and properties with an owner with space available to rent, has fluctuated greatly between 0% and 16% over the last five years, peaking during the COVID-19 pandemic and currently sitting closer to 0%.

Office

Yeadon’s office market is very small, with only five properties identified by CoStar and just 37,900 square feet of space. Its average market rent per square foot is $25.88, which is also less than that of Delaware County ($29.28) and Philadelphia ($31.41). As of the fourth quarter of 2023, about half of this office space became vacant.

Industrial

With a robust industrial district in the northern part of the borough, Yeadon has approximately 985,000 square feet of industrial space per CoStar, which comprises about 3% of all the industrial space in the county. It has an average rent of $9.95 per square foot, which is lower than Delaware County’s average of $11.00 and Philadelphia’s average of $10.32. It has recently experienced elevated levels of rent growth, as the average per square foot rent sat at under $6.00 at the beginning of 2022. This is consistent with its convenient location for vehicles near both US-13 and Baltimore Pike, two large transportation arteries in Delaware County. However, this increase has been coupled with an increase in vacancy as high as over 25% last year before settling at its 2024 rate of 21.6%.

Figure 2.54: Yeadon Industrial District. Source: Yeadon Team.
Figure 2.52: Yeadon Market Analysis. Source: CoStar.
Figure 2.53: Pound Cake Heaven. Source: Yeadon Team.

Economic Conditions

Employment & Unemployment

The employment of the residents of Yeadon reflects a diverse workforce engaged in various sectors, including healthcare & education (the “Meds & Eds” sectors, as they are known in Philadelphia), retail, manufacturing, and professional services. According to recent statistics from the American Community Survey, the median household income in Yeadon is approximately $56,000, with a significant portion of residents employed in healthcare and social assistance.

This aligns with the Longitudinal Employer-Household Dynamics (LEHD) Origin-Destination Employment Statistics (LODES) data showing a significant portion of Yeadon’s residents working in Philadelphia districts that include the Penn Medicine hospital complex and University City, with the map also highlighting the Philadelphia International Airport district as a labor hub for Yeadon residents.

However, Yeadon also faces challenges related to unemployment. As of 2021, the unemployment rate in Yeadon stands at 8.3%, slightly higher than both the state average of 5.9% and the national average at the time of 5.4%. Recent efforts to address unemployment include workforce development programs, job training initiatives, and partnerships with local businesses and volunteer organizations like the Yeadon Economic Development Corporation to create employment opportunities within the borough.

Yeadon
Yeadon
Yeadon
Philadelphia Center City
Philadelphia International Airport
Figure 2.55: Census Tracts Where Workers in Yeadon Live. Source: Census Bureau LODES.
Figure 2.56: Census Tracts Where Yeadon Residents Work. Source: Census Bureau LODES.

Inflow/Outflow Analysis

The motto of the Yeadon Economic Development Corporation is “making Yeadon a great place to live, learn, and conduct business.” According to employment data, however, residents of Yeadon are not living and working in their own borough. According to U.S. Census Bureau data, less than two percent of Yeadon residents live and work within Yeadon, with the majority of residents leaving for work. Of the labor force that works in the Borough, only seven percent live in Yeadon. This is further evidenced by the demographics of those working in Yeadon, as 56% of those employees identify as white, despite 90% of residents identifying as Black.

Top Employment Sectors

Just over one thousand people work in Yeadon and top employment sectors include manufacturing, construction, and wholesale trade. Employment centers in Yeadon are likely located around the commercial corridor on Church Lane and in the industrial district. Also located right outside of Yeadon’s borders in Darby is Mercy Fitzgerald Hospital, which likely employs the high concentration of healthcare workers.

Figure 2.57: Inflow-Outflow Map of Workers. Source: Census Bureau, On The Map.
Number of People Working in Yeadon: 1,226

Community Life

Community life in Yeadon is rich for all ages, and the community strength of Yeadon is apparent in its gathering spaces and plethora of community groups. Examples of community gathering spaces include the Yeadon Public Library and the Yeadon Community Park. The Yeadon Public Library offers a wide range of books and resources for community members, including an African American Cultural Center, reflecting the black history of the borough. The Yeadon Community Park features a community garden and recreational facilities for residents, including the Nile Swim Club.

Figure 2.58: Yeadon Public Library. Source: Yeadon Team
Figure 2.61: Older Adults at Social Event. Source: Delco Times
Figure 2.59: Yeadon Community Park. Source: Yeadon Team
Figure 2.62: YEAA at Wells Fargo Arena. Source: YEAA
Figure 2.60: Nile Swim Club. Source: Shoppe Black

Key Stakeholders

Key stakeholders in Yeadon include church leaders, elected officials, borough employees, community groups, business owners, and school teachers. Churches in Yeadon serve as religious institutions in the borough as well as community meeting spaces for residents. Some of these churches include St. Michael’s Episcopal Church, Zion Community Church, and Chapel of the Good Shepherd, which is where Mayor of Yeadon, Rohan Hepkins, serves as senior pastor. Elected officials such as the mayor and the seven council members who serve on the borough council are key stakeholders in the community.

One key stakeholder with a vested interest in the succes of the nexct generation is in the Yeadon Education Athletic Association (YEAA), Yeadon Education Athletic Association, which has been around for more than 30 years. Its mission is to serve youth with educational and life skills and ensure athletic opportunities that will build character. Other community groups include the Yeadon NAACP chapter and the Homeless Services Coalition. Key community organizations also include the Yeadon Economic Development Corporation, which engages business owners in the borough.

Rohan Hepkins: Mayor
LaToya Monroe: President Leana Roadcloud: Vice President
Learin Johnson Nicole Beaty: President Pre Tempore
Antoinette Truehart Jessie Peets
Figure 2.63: Yeadon Borough Leadership and Stakeholders. Source: Yeadon Borough.
Borough Council

Local Political Structure

Yeadon runs a weak mayor-council government system with an appointed chief administrative officer. This means that most of the affairs of the borough are handled by a borough council of seven members, each of whom have four-year terms. The current Mayor of Yeadon, Rohan Hepkins, was initially elected in 2013 and, after recently winning reelection, will lead the borough until 2026. The Borough Council supervises borough operations, adopts an annual budget, levies borough taxes, approves contracts and bids, and passes necessary policy and regulatory ordinances. They also have the power to appoint officials to run daily affairs of the borough, along with municipal boards and commissions. Meanwhile, the Mayor serves as more of a figurehead, with the roles of overseeing public safety, serving as the spokesperson for the community, and administer oaths. Meanwhile, a chief administrative officer (currently Nafis Nicholas) is appointed and responsible for overseeing the dayto-day operations of the borough. The current state of Yeadon’s local government has been extremely turbulent in recent years, which will be discussed in greater detail in the next chapter.

ReligionPlaces of worship serve as large pillars of the Yeadon community, providing not just religious services but free events, bible studies, and support. On Yeadon Borough’s website, there are six churches listed, including The Chapel of the Good Shepherd; Evelyn Graves Ministries Church; Spirit & Truth Worship Center; St. Louis Roman Catholic Church; St. Michael’s Episcopal Church; and Yeadon Presbyterian Church, along with each of their addresses and contact information. Chapel of the Good Shepherd offers virtual and inperson religious services, some of which take place over Zoom, and others on Facebook Live. They also serve as community gathering spaces and influential community organizations. This is evidenced by Reverend Rohan Hepkins, pastor at Chapel of the Good Shepard, being elected as Borough Mayor three times.

Figure 2.65: Yeadon Borough Hall. Source: Yeadon Team.
Figure 2.66: Steeples of Local Churches. Source: Yeadon Team.

Public Safety Crime

Per an assessment of crime frequencies by RiskMeter, Yeadon received an overall score of 42.2, which is slightly more than twice the national average. Yeadon is mostly considered to be a familyfriendly residential nieghborhood but has also experienced multiple higher-profile crimes since 2020. According to the Yeadon Borough website, there is a volunteer-led Town Watch, which supports the local police. Town Watch is in urgent need of Friday and Saturday night volunteers to assist with patrols, indicating an understaffed police force. Additionally, Yeadon’s police department website has a page for arrests and cases, but neither page has any content.

Crashes

Despite speeding vehicles and multiple busy roads, Yeadon’s crash data shows only two fatal crashes between 2008 and 2021. Crashes peaked in 2016, with a total of 117 crashes and 66 injuries. Bicyclists and pedestrians are also rarely involved in crashes, with peaks of three cyclists and 11 pedestrians affected in 2008 and 2016, respectively. The graph below shows the total number of crashes, injuries, and deaths in Yeadon borough between 2008 and 2016. As shown by the graph, crashes are on the rise again since 2020.

Figure 2.69: 2008 to 2022 Count of Crashes. Source: PennDOT.
Figure 2.68: Church Lane and Baily Road Intersection. Source: Yeadon Team.
Figure 2.68: Yeadon RiskMeter crime score (out of 100 max). Source: RiskMeter

Recent Changes/ Previous Planning Efforts

Yeadon has not completed a borough-specific comprehensive plan since it adopted a 232-page plan prepared by the Delaware County Planning Department in 2001. The document outlined 62 objectives for the borough across several themes, including economic development, land use, housing, community preservation, transportation, and community services. While the document is very detailed, it does not lend itself well to the average community member reader and is now more than 20 years old. Since then, most of Yeadon’s planning efforts from the last decade have been outlined from a county level. Delaware County 2035, the county’s most recent comprehensive plan, outlines the most recent efforts to plan for the future of the borough. While these documents do address the issues faced in Yeadon on a larger scale for the entire county, the borough is only explicitly mentioned a handful of times in charts, and the documents do not specifically address Yeadon’s future. Thus, an updated comprehensive plan for the borough is long overdue.

In addition to improvement efforts through comprehensive plans, a $249,500 grant was received by the Lansdowne Economic Development Corporation on the Elm Street project in 2011, which covered included a portion of western Yeadon. The funding was allocated to “rehab, streetscape, and building façade improvements,” as well as environmental cleanup efforts and youth programs. Another recent funding grant includes a state grant of nearly $500,000 received to replace sewer mains along West Providence Road in western Yeadon in 2018. Most notably, last year in 2023, $500,000 was granted to construct a new recreation center in southern Yeadon on Chester Avenue, providing the southern part of the borough with a much-needed community space. Additionally, the borough was granted $350,000 for a streetscape project that would enhance the Southern Church Lane commercial corridor. The funding for the projects comes from The Multimodal Transportation Fund and the Statewide Local Share Account Program.

Other recent changes to the physical landscape include a brand-new athletic facility for Penn Wood High School in the northeastern part of the borough off Baily Road called Rap Curry Athletic Complex. This complex includes Kerr Field, a brand-new football stadium, as well as a baseball and softball field. Additionally, in efforts to slow traffic along US-13, the streets have been painted with “25 MPH” signs in multiple locations to encourage drivers to follow the speed limit.

Figure 2.71: Rap Curry Track and Football Field. Source: Yeadon Team.
Figure 2.70: Rap Curry Athletic Complex Kerr Field. Source: Yeadon Team.

(This page left intentionally blank)

CHAPTER 3

ISSUES,OPPORTUNITIES,GOALS

Issues & Opportunities

U C

E UNITE CONNECT ENGAGE

Tensions within Local Government

Lack of Sit-Down Restaurants

Rich History

Two Vacant Lots in Key Locations

Proximity to African Immigrant Populations in Nearby Communities

Cultural Diversity of Restaurants

Incomplete Infrastructure for Walking

High Traffic Volume and Speed along U.S. Highway 13

High Concentration of Crashes at Specific Intersections

SEPTA’s Future Trolley Modernization and Extension

Throughout the existing conditions research for Yeadon Borough, several key issues and opportunities emerged and informed the selection of the goals. These themes fell into three broad categories: community development (unite), transportation (connect), and resident engagement (engage). As explained in the chart above, Yeadon is well-positioned to progress into its next decade, and it displays just as many opportunities, as it displays areas for improvement.

Lack of Community Trust in Government

Tensions between Older Adults and Adolescents

Absenteeism in Schools

Economic Disadvantage of Penn Wood School District

Strong Community Fabric

Key for Text: Issues Opportunities

Unite: Issues

Tensions within Local Government

Public disagreement, finger-pointing, and retaliation between the mayor and Borough Council has characterized Yeadon’s government in the last four years. The first controversy arose in 2019, when the Borough Council fired Former Yeadon Police Chief Anthony Paparo based on money mismanagement. Paparo promptly sued the Borough in federal court, claiming that discrimination occurred because he was white. Then, in 2022, the local government received criticism again in light of four execution-style murders committed in Yeadon and two deaths by hanging in police custody. Additionally, amidst the tension of these tragedies, Mayor Hepkins was evicted from his own office by the Council, resulting in tensions between

him and Council members. Councilperson Harris blamed the mayor and police leadership, stating that the mayor has direct oversight of the police department. Most recently, an independent consulting firm was hired by former Council members to investigate the two suicide deaths in 2022 and the effectiveness of the Yeadon Police. In response, Mayor Hepkins released a rebuttal on the Borough website defending his actions and publicly blaming the former Council members for unfairly framing him.

Lack of Sit-Down Restaurants

Despite its variety of gathering spaces, Yeadon currently faces a dearth of full-service restaurants, which would provide another place for family and friends to gather. With the exception of Aunty K’s West African Restaurant, all of the existing restaurants in the borough only provide takeout service. Residents surveyed by the Yeadon Economic Development Corporation confirmed this trend and expressed a desire for more places to sit down and eat in their borough.

Figure 3.1: Yeadon Borough Hall. Source: Yeadon Team
Figure 3.2: Yeadon Pizzeria & Fried Chicken (Takeout Only). Source: Yeadon Team

Unite: Opportunities

Rich History

Yeadon’s rich history as a Black cultural enclave has evolved significantly over the decades. Originally an affluent suburb for upwardly mobile families in the early 20th century, it has since transformed into a middle-class suburb with a strong sense of Black heritage and community identity.

Notable historical milestones include the founding of the Nile Swim Club in 1959, the first Black-owned swim club in the country, and the achievements of the Hilldale Athletic Club in the Negro League baseball team between 1910 and 1932. These elements underscore Yeadon’s potential to further develop as a center for celebrating and advancing Black culture. The annual Flag Day celebration, honoring local resident William Kerr’s role in establishing the holiday, adds another layer to its historical significance and community pride. These characteristics present Yeadon with unique opportunities to leverage its historical roots in fostering a vibrant cultural and community hub.

Two Vacant Lots in Key Locations

Given its history as an early streetcar suburb of Philadelphia, only 1% of Yeadon’s land area is currently vacant (see Figure 3.3). However, the borough owns two vacant lots in key locations next to commercial corridors which provide opportunities for redeveloping and reimagining the space.

• 541 Church Lane: The Northern Church Lane lot is completely vacant on a busy commercial corridor and was formerly the site of the Yeadon Theater, which opened in 1937 and was eventually demolished in 2006.

• 301 Chester Avenue: Meanwhile, the Chester Avenue lot sits on the site of the former Yeadon Swim Club, which has been abandoned for years and sits near the Yeadon trolley loop, offering the opportunity for transit-oriented development.

Figure 3.4: Map of Yeadon’s Vacant Lots. Source: Yeadon Team
Figure 3.3: Hilldale Athletic Club at the 1924 Negro League World Series. Source: DELCO Today

Proximity to African Immigrant Populations in Nearby Communities

In addition to the strong African and Afro-Caribbean immigrant presence within the borough, strong Black immigrant communities can also be found in Yeadon’s neighboring municipalities. To its east, West Philadelphia has developed a reputation for its strong African immigrant population over the last few decades, with the southwest part of the city known as “Little Africa.” More recently, in 2022, this was formalized in the Philadelphia Africatown project, an economic development coalition of immigrant-owned businesses along Baltimore Avenue and Woodland Avenue in West Philadelphia. Additionally, nearby Delaware County communities such as Darby, Lansdowne, and Upper Darby all have a notable concentration of Black immigrants from Africa and the Caribbean.

Cultural Diversity of Existing Restaurants

Representative of Yeadon’s diverse immigrant community, existing restaurants like Coconut Breeze Cuisine and Aunty K’s West African Restaurant are local favorites and attract visitors and delivery orders from across Greater Philadelphia. These restaurants offer a place where residents can savor traditional flavors, fostering a deeper appreciation for the local diversity.

Moreover, by being owned and operated by local families from diverse backgrounds, these restaurants could serve as a template for aspiring entrepreneurs within the community. They showcase the potential for success in the culinary industry, inspiring others to start similar businesses and contributing to the economic growth and cultural tapestry of Yeadon.

Figure 3.6: Storefront of Coconut Breeze Cuisine, a Jamaican Restuarant. Source: Yeadon Team
Figure 3.5: Photograph of Musa Trawally, director of Community and Business Development for ACANA. Source: The Philadelphia Inquirer

Connect: Issues

Incomplete Infrastructure for Walking

Yeadon is a very well-connected suburb, with multiple trolley lines, bus routes, a regional rail stop, and access to both Philadelphia and Western Delaware County. However, the Borough also has issues of poor pedestrian safety, high traffic speeds, and transit stations inaccessible to people with disabilities.

Although Yeadon is quite walkable, a few key areas have insufficient sidewalk infrastructure. Dilapidated sidewalks can be seen on parts of Longacre Boulevard leading into Philadelphia and portions of streets in southern Yeadon. This has led to poor pedestrian safety and lack of walkable access to borough amenities such as open spaces and public transit stations like the FernwoodYeadon Regional Rail Station.

High Traffic Volume and Speed along U.S. Highway 13

U.S. Highway 13 crosses directly through the borough at Church Lane and MacDade Boulevard, two of Yeadon’s main avenues. Church Lane’s sidewalks, while relatively safe to walk on, make for an uncomfortable pedestrian experience with traffic speeds at 35 miles per hour. At first glance and without cars, you would not guess that Yeadon has a US highway that runs through the community. On the other hand, the volume of traffic and speed of cars is inconsistent with the pedestrian-friendly sidewalks, walkable commercial corridors, and residential neighborhoods through which US-13 runs.

Figure 3.7: Broken Sidewalk along Cobbs Creek. Source: Yeadon Team
Figure 3.8: Busy Intersection along Highway 13 and Bailey Road. Source: Yeadon Team

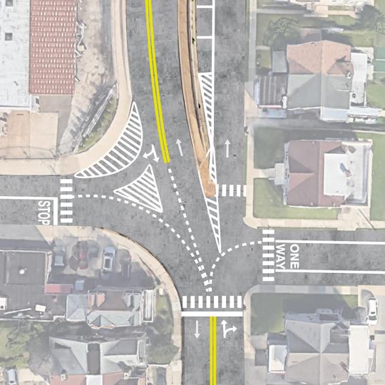
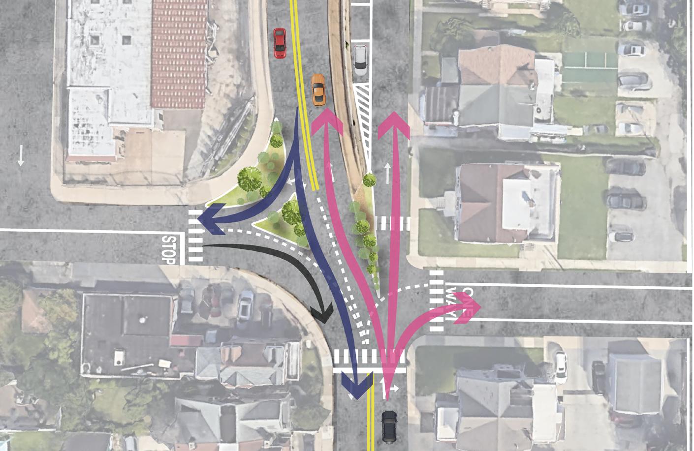
High Concentration of Crashes at Specific Intersections

In Yeadon, a borough heavily reliant on automobile transportation, a troubling trend has emerged at the intersection of Church Lane with Penn Street and MacDade Boulevard. These intersections have become hotspots for vehicular accidents, with a startling 64% increase in crashes in 2022 alone, totaling 103 incidents compared to 2019. Over half of these collisions resulted in injuries, underscoring the urgent need for interventions. While it is fortunate that these accidents have not resulted in any fatalities, the high frequency and the severe outcomes of these crashes demand a comprehensive review of traffic management and safety measures at these critical junctions. This situation calls for creative solutions, such as enhanced traffic signaling, improved road layouts, or even the introduction of traffic calming measures to ensure the safety of all road users.

Connect: Opportunities

SEPTA’s Future Trolley Modernization and Extensions

SEPTA is exploring the possibility of extending T2 (formerly Route 34) westward along Baltimore Pike, as well as increasing service on the portion of T13 southwest along Chester Ave to Darby Transit Center. However, there is still work to be done. Trolley and Regional Rail stations are not fully accessible in the borough. Trolleys in general are not easy to access due to a lack of lifts or lowering platforms for those with ambulatory deficiencies. In addition, Yeadon’s single regional rail station (Fernwood-Yeadon on the Media/Wawa Line) lacks elevators or other infrastructure for residents with disabilities. The additional service to Darby Transit Center in neighboring Darby Borough would connect southern Yeadon with the D-lines and provide easier access to the county seat of Media as well as Sharon Hill. Darby Transit Center will receive major investment. The Trolley Modernization project will offer a wealth of options for Yeadon riders and visitors alike.

Figure 3.10: Rendering of SEPTA’s New Trolley Vehicles. Source: SEPTA
Figure 3.9: Traffic Crash Heat Map. Source: Yeadon Team

Engage: Issues

Lack of Community Trust in Government

The political tensions in Yeadon have led to a lack of community trust in local government, as it has created an atmosphere of mistrust and a signal of instability to residents. With a more united board and two newly-elected Council members, three Borough Council members were replaced, which has led to a general sense among the community that tensions have eased, but it remains to be seen. Without cohesion at the local government level, many of the goals and strategies proposed in this plan will be difficult to implement. In addition to internal tensions, residents have found it difficult to participate in local government and engage online, as evidenced by social media comments on Yeadon Borough posts. Finally, because of the consolidated structure of the government, there are limited municipal employees and several staff have multiple roles.

Economic Disadvantage of Penn Wood School District

Because schools in Delaware County are funded locally through property taxes, communities with lower incomes generally have fewer funds available and also often have populations that require additional services. This structural issue with the American education system has undoubtedly affected the Penn Wood School District, which encompasses Yeadon and the five other communities of Aldan, Colwyn, Darby, East Lansdowne, and Lansdowne. The school district currently holds exceptionally low school rankings relative to Delaware County and the rest of the country according to independent rankings like GreatSchools and Niche. Additionally, anecdotal evidence in an article by Bloomberg CityLab indicates that some families, especially those that can afford to move, choose to leave the borough altogether in search of better schools.

Declining School Enrollment

Numbers

Yeadon faces a number of issues related to educating children under 18, which has in turn damaged its once strong reputation as a suburban enclave for Black families. Since 2000, many families with school-aged children left the borough altogether. The number of children enrolled in school declined dramatically in just one decade: enrollment for kindergarten to 12th grade dropped from 1,801 in 2011 to 1,207 in 2021, a 33% decrease. Part of this decline may be attributed to a population that is aging in place, as the population aged 55+ increased from about 3,000 to 4,400 in the same time frame.

Absenteeism in the Penn Wood School District

Additionally, the pandemic changed American families’ perception of schools nationwide, and the Penn Wood School District—which Yeadon is part of—is no exception. Absenteeism currently sits at 54% for the school district, a shockingly high number relative to the national average of 26%.

Tensions between Older

Adults and Younger Families

The demographic divide in Yeadon between an aging population and younger families has introduced unique challenges in community dynamics. Older residents, having enjoyed Yeadon as a family-oriented borough, now seek to preserve their peaceful lifestyle, which often results in resistance to changes that could attract or benefit younger, more active families, according to members of the Yeadon Economic Development Corporation. This resistance poses a barrier to the infusion of youthful energy and diversity that young families can bring, potentially impacting the borough’s vibrancy and growth.

Figure 3.11: Yeadon’s Penn Wood High School, Cypress Street Campus. Source: Yeadon Team

Engage: Opportunities

Strong Community Fabric

In addition to the elected officials in the borough and its borough employees, many groups have a vested interest in Yeadon, including volunteer organizations such as the Yeadon Economic Development Corporation and Yeadon Education Athletic Association, community groups like the Nile Swim Club and Yeadon NAACP Chapter, and churches such as St. Michael’s Episcopal Church and Zion Community Church. Additionally, per the Yeadon Economic Development Corporation, one of Yeadon’s greatest strengths is a strong sense of community in Yeadon and a subsequent culture of volunteerism. This ecosystem appears to be inconsistent with the insular state of the elected officials in the local government in recent years, especially given the relatively small population of the borough.

Variety of Gathering Spaces

There is a wide range of gathering spaces in Yeadon–both indoor and outdoor, both public and private–as evidenced by the images below. These spaces include the Yeadon Public Library, Yeadon Community Park, Cobbs Creek Park and Trail, three privatelyowned social spaces, churches, and cemeteries.

Presence of Yeadon Education Athletic Association

The Yeadon Education Athletic Association (YEAA) is a 501(c) (3) nonprofit organization whose mission is to connect with and serve the youth of Yeadon through athletic programming and mentorship. They believe that ensuring athletic activity will build leadership and confidence, as well as produce well-rounded individuals. This organization has been in the Yeadon community for over 30 years and offers a wealth of activities for Yeadon youth.

Indoor Outdoor
Yeadon Public Library Yeadon Community Park Churches Cemeteries
Figure 3.12: Community Event at Yeadon Library. Source: Philadelphia Tribune
Figure 3.13: Yeadon Gathering Spaces. Source: Yeadon Team

Goals

U C E UNITE CONNECT ENGAGE

Celebrate Yeadon’s Black heritage and cultural identity

Leverage proposed trolley extensions to connect Yeadon to Greater Philadelphia

Empower youth through career and mentorship opportunities

Build community amenities on two key vacant lots

Enhance safety and accessibility for pedestrians and transit users

As shown by the opportunities listed in the previous section, Yeadon is a thriving middle-class suburb in many respects. It also faces a number of unique challenges as it looks forward to the next decade of its development. As such, the goals below reflect efforts to both capitalize on existing opportunities and remedy issues that the borough currently faces.

Prioritize relationship building between residents and local governmet

Goal #1: Celebrate Yeadon’s Black heritage and cultural identity

Because Yeadon has transformed into a middle-class Black suburb in recent decades, it has a unique opportunity to brand itself as a place to celebrate Black culture and heritage, both related to the Black American experience and African immigrant culture. This goal will be realized by advertising Yeadon’s rich history and identity as one of Philadelphia’s first Black suburban enclaves and home of the Nile Swim Club, holding opportunities to celebrate this identity, and economically and socially connecting Yeadon to the larger diaspora that exists within Philadelphia and Delaware County. This goal will also be realized in the built environment of Yeadon through the introduction of public art projects that incorporate imagery from African-American and African cultures, reflecting the community’s pride in being a predominantly Black neighborhood.

Case Study: West End, Atlanta

An analogue of the vision for Yeadon rooting its identity in Black heritage is the West End in Atlanta, Georgia. West End has a suburban feel with a smaller commercial corridor with successful Black-owned restaurants like the Slutty Vegan. The neighborhood also holds multiple festivals and events around its Black identity, which has created a reputation around Blackness and Black history. Given that Yeadon is a smaller community and slightly farther away from Philadelphia, the borough can aim to become a smaller-scale version of the West End.

Figure 3.15: Slutty Vegan in West End, Atlanta.
Source: The New Yorker
Figure 3.14: Nile Swim Club 1959 Opening. Source: Media Arts Council

Goal #2: Build community amenities on two key vacant lots

Given the opportunities for redevelopment around the two vacant lots owned by the Borough, namely the Northern Church Lane lot and Chester Avenue lot, a number of real estate projects can be imagined. The Borough has already explored the redevelopment of these two parcels in recent years, but based on community feedback and needs, distinct uses have emerged for each lot:

• Northern Church Lane Lot: A food hall will be created in phases: first as a collection of food trucks, then as a freestanding building.

• Chester Avenue Lot: A community recreational center and park will be built on the grounds of the former Yeadon Swim Club, offering a much-needed community space for residents of southern Yeadon and a place where youth and adolescents can congregate, play sports, and receive mentorship.

These redevelopment plans will be based on surveyed community needs, and community leader and resident input would be extensively gathered before finalizing development plans. Finally, the borough will work with the Yeadon Economic Development Corporation to find a locally trusted developer and contractors, as well as select tenants and interested local vendors.

Figure 3.16: Philadelphia YMCA. Source: The Philadelphia Inquirer
Figure 3.17: Interior of Brewerytown Food Hall. Source: Brewerytown Food Hall

Goal #3: Leverage proposed trolley extensions to connect Yeadon to Greater Philadelphia

With SEPTA planning to modernize the trolley system and extend access to communities across Greater Philadelphia in the coming decades, Yeadon has an opportunity to serve as a transit hub for eastern Delaware County’s connections to the city and its amenities. Though Yeadon may have historically been more of a passthrough Borough for riders continuing on SEPTA Route 13 (to be renamed the T3 Line) to the Darby Transportation Center or for Regional Rail riders continuing on to Media or Wawa, SEPTA’s “Trolley Modernization” and “Reimagining Regional Rail” projects have the potential to transition Yeadon into a more connected and accessible Greater Philadelphia community with the proper investments.

• Intersection of Church Lane and Baltimore Pike – With plans for the T2 Line (former Route 34) to extend on Baltimore Pike beyond Angora into Delaware County, the vacant pharmacy at the southwest corner of Baltimore Pike and Church Lane could be leveraged as a Welcome Plaza for Delaware County trolley patrons to make transit a more attractive option for potential Yeadon and Lansdowne riders. Although it is outside the borders of Yeadon, advocating for this proposed extension would grant another public transit access point for Yeadon residents to travel into Philadelphia that offers more frequent trips than the regional rail.

• Chester Avenue Lot and Yeadon Loop – Given the plans to modernize the connection between the Yeadon Loop and Darby Transportation Center, which currently offers only Limited Service, it will be important to revitalize the area near the Yeadon Loop, which serves as the terminus for most current passenger service on T3. Plans will include a reimagining of the former Yeadon Swim Club lot into an age-friendly community center and park, as well as a redesign of the Chester/MacDade strip mall, to make the area more conducive to pedestrian traffic.

Case Study: Street Cars, Toronto, Canada

Toronto operates most of its suburbs as connected, transit-oriented developments and maintains a strong connection with upwards of 150 neighborhoods, and hundreds of local suburbs. This case is somewhat similar to Philadelphia, which was one of the first streetcar suburbs.

Figure 3.19: Toronto Street Car. Source: Toronto Transit Commission
Figure 3.18: SEPTA’s ADA Accessible Trolley Modernization Rendering. Source: SEPTA

Goal #4: Promote pedestrian mobility and safety to public amenities and transit stations

This goal focuses on enhancing pedestrian safety by facilitating access to essential public amenities such as parks and cemeteries, as well as vital transit hubs like the Fernwood-Yeadon Regional Rail Station and the Yeadon Trolley Loop. While the borough’s layout is conducive for multi-modal transportation, challenges arise from the high traffic volume along US-13, leading to a notable concentration of accidents at key intersections and the presence of poorly maintained sidewalk sections dangerously close to the road. The addition of new sidewalk segments and the implementation of traffic calming measures, will ensure safer and more accessible pathways for residents to walk in Yeadon. By increasing walkability, Yeadon residents will concurrently be incentivized to not drive, which would likely decrease the traffic along US-13 and improve residents’ health.

Goal #5: Empower youth and adolescents through mentorship and educational opportunities

By introducing the ‘Planning for the Future’ program as an extension of the longstanding Yeadon Educational Athletic Association, adolescents in Yeadon will receive invaluable support to navigate their educational journey. This initiative aims to foster a sense of purpose and cultivate aspirations beyond high school graduation, whether it is pursuing higher education, vocational training, entrepreneurship, or securing employment in sectors like manufacturing. Through the utilization of community volunteers and strategic partnerships, students will be connected with college resources and mentors across various fields, ensuring they have the guidance and resources needed to shape a promising professional future.

Figure 3.20: SEPTA Bus in Yeadon. Source: Yeadon Team
Figure 3.21: YEAA Summer League in 2016. Source: YEAA

Goal #6: Prioritize relationship building between residents and local government

Overall, none of these goals will be implemented without the support of a cohesive local government that understands and supports the vision of this comprehensive plan. Recognizing the indispensable role of a cohesive local government in realizing the plan’s vision, efforts will be directed towards addressing the recent tumultuous state of local governance and fostering community trust. Residents have faced challenges in participating in local government, exacerbated by limited online engagement avenues. With the recent election of multiple new Borough Council members presenting an opportune moment for revitalization, proposed strategic measures include the local government prioritizing trust-building initiatives, instituting a sign code of ethics for municipalities, establishing a new part-time Director of Community Engagement and Volunteer Service position, and enhancing the borough’s digital footprint through website redesign and integration with social media platforms. Through these actions, the Borough aims to not only bolster its capacity to implement the outlined goals but also to rebuild community trust and actively serve its residents.

Figure 3.22: Opening of the Delaware County Wellness Center by Yeadon’ Officials in 2021. Source: Yeadon Borough
Figure 3.23: Yeadon Residents at Public Hearing. Source: Yeadon Borough

(This page left intentionally blank)

RECOMMENDATIONS CHAPTER 4

Recommendations Overview

Unite Recommendations

Connect Reccomendations

Engage Recommendations

Recommendations Overview

Celebrate Yeadon’s Black heritage and cultural identity

Recommendation 1: Mural Arts Program

Recommendation 2: Yeadon Flag Day

Recommendation 3: Africatown Delaware County

Build community amenities on two key vacant lots

Recommendation 1: Church Lane Food Hall

Recommendation 2: Chester Avenue Community Recreation Center

Leverage proposed trolley extensions to connect Yeadon to Greater Philadelphia

Recommendation 1: Trolley Extension to Church Lane

Recommendation 2: Redesign of Church Lane near Northern Entrance to Yeadon

Key for Estimated Costs:

$: $1-50,000 $$: $50,000-250,000 $$$: $250,000-1,000,000 $$$$: $1,000,000-5,000,000 $$$$$: $5,000,000+

Enhance safety and accessibility for pedestrians and transit users

Recommendation 1: Public Access to Cemeteries

Recommendation 2: Measures to Decrease Crashes

Recommendation 3: New Sidewalk to Cobbs Creek Park

Empower youth through career and mentorship opportunities

Recommendation 1: Expansion of YEAA

Recommendation 2: Skill-Building Workshops

Prioritize relationshipbuilding between residents and local governmennt

Recommendation 1: Establish New Borough Communications Role

Recommendation 2: Trust-Building Practices

Imagining Yeadon in 2035:

Unite

Church Lane Food Hall
Chester Avenue Community Recreation Center
Yeadon Mural Arts
Yeadon Flag Day

Mural Arts Program

This recommendation aims to initiate a series of murals art projects across Yeadon that celebrate the borough’s Black history. Inspired by Philadelphia’s Mural Arts program, the goal is to visually commemorate Yeadon’s identity and heritage and enhance its aesthetic beauty.

UDTJ, a social justice organization based in nearby Upper Darby, recently launched a mural arts pilot program slated to complete its initial murals by spring 2024. Seizing this opportune timing, this recommendation proposes collaboration with UDTJ to extend the program into Yeadon. Municipal staff from Yeadon Borough would lead the borough’s involvement, aligning with UDTJ’s mission and its plans to expand the pilot. Additionally, leveraging support and inspiration from regional organizations like Delco Arts and Lansdowne Arts on the Avenue, along with their networks of artists and philanthropists, can further enhance the implementation of this recommendation.

While volunteers are expected to be the primary drivers for this recommendation, it’s important to acknowledge potential project costs. Mural paintings typically range from $715 to $1,833, averaging between $17 and $33 per square foot, while hiring professional painters can cost between $500 and $5,000 per project. As such, the Borough may face expenses ranging from $1,200 to $7,000 per mural, depending on factors like size, duration, and artist fees.

These costs, while likely manageable with the right funding, can be mitigated by leveraging volunteers for design and painting and soliciting donations for supplies, thus enhancing the program’s sustainability. Potential funding sources include the Borough’s current allocations for Recreation ‘Operating Supplies’ ($5,000) and Special Events ‘Supplies/Materials’ ($2,000), as well as grants from organizations like the Pew Center for Arts and Heritage.

Goals Met:

Implemented by:

Yeadon Borough Municipal Staff with UDTJ Support

Potential Partners/Funding:

UDTJ / Pew Center for Arts & Heritage

Estimated Costs:

$

Timeline

Years 1-3

Key Indicators:

Number of Murals, Number of Contributing Artists

Figure 4.1: Rendering of Mural Concept on Vacant Wall in Yeadon before (left) and after (right). Source: Yeadon Team, ABFL

Yeadon Flag Day

To further celebrate Yeadon’s Black heritage, another recommendation involves rebranding Yeadon’s Flag Day celebrations to reflect the cultural and geographic diversity in the borough. As mentioned earlier, William T. Kerr was a prominent Yeadon resident who played a pivotal role in advocating for the celebration of the American flag’s birthday on June 14th. Kerr’s 50 years of leadership and national efforts to instill pride and reverence for the flag gained widespread attention, contributing to the establishment of Flag Day as a nationally recognized observance in 1949. Today, Yeadon honors Kerr’s legacy by hosting an annual Flag Day Celebration.

This recommendation involves building off of these celebrations to incorporate the cultural and geographic diversity in the borough. Currently, Flag Day celebrations are organized by the Borough and festivities are supported by funding from sponsors and time from volunteers. Additions to celebrations would include a procession of flags from the countries represented in the borough, African and Caribbean food from locally-owned businesses in the area, and performing arts groups from the diaspora to participate in the Flag Day parade. These additions would continue to be led by the borough with support from local community organizations such as the Yeadon Economic Development Corporation. Potential funding sources for this recommendation would include continued support from sponsors and the Yeadon Economic Development Corporation.

Years 1-3

Yeadon Borough, Yeadon Economic Development Corporation

Key Indicators:

Number of Registered Attendees, Sponsors, Volunteers, and Participants

Figure 4.2: Yeadon Resident Celebrating Flag Day. Source: Delco Times

Africatown Delaware County

The final recommendation to celebrate Yeadon’s black cultural heritage involves creating an Africatown economic development initiative in Delaware County. Africatown Philadelphia is a neighborhood and economic development initiative located in Southwest Philadelphia aimed at providing jobs for youth and increasing business ownership for residents. To accomplish these goals, Africatown Philadelphia is aimed at becoming a tourist destination for the global African diaspora by celebrating and emphasizing the presence of this diaspora in the Southwest Philadelphia community. The recommendation to start an Africatown in Delaware County stems from the presence of African immigrants in the Yeadon community and the geographic proximity of Yeadon to other Delaware County suburbs such as Upper Darby, which also boasts a large African immigrant presence. Partners for this project would include ACANA (the African Cultural Alliance of North America) based in Philadelphia, Africatown Philadelphia, and the Economic Development Oversight Board of the Delaware County Commerce Center.

Goals Met: Implemented by:

Newly Created Africatown Delco Team

Potential Partners/ Funding:

ACANA, Africatown Philadelphia, Delaware County Commerce Center, Yeadon EDC, Membership Dues $

Years 4-8

Key Indicators:

Creation of Delaware County-Based Africatown Corporate Entity, Africatown Delco Founding Members

Figure 4.3: Press Conference for Africatown Philadelphia, 2022. Source: Ark Republic
Figure 4.4: “NC 8” Mural in Charlotte, North Carolina. Source: Charlotte’s Got a Lot

Church Lane Food Hall: Phase 1

Based on the existing fabric of the Northern Church Lane commercial corridor, as well as identified needs from the Yeadon Economic Development Corporation, the plan proposes redeveloping an 18,000 square foot lot owned by Yeadon Borough into a two-story food hall, inspired by the spirit of the former Yeadon Theater. Located at 541 Church Lane, the lot offers both grassy fields and parking space, making it an ideal location for a gathering space catering to people of all ages .

This plan outlines a phased approach to the project, beginning with a pop-up community gathering space to test the concept. Phase 1, the pre-development phase, involves hosting local food trucks and tables on select days, such as weekends, with frequency adjusted based on popularity and capacity. This phase serves as a temporary gathering space to garner public support and momentum for the food hall concept. Subsequently, the main structure will be developed to house a variety of culinary offerings on the ground floor, including vendor stalls reserved for local restaurants. The Yeadon Economic Development Corporation (EDC) could assist in identifying businesses from Yeadon, nearby Delaware County boroughs, and West Philadelphia to occupy these stalls. The second floor of the food hall is envisioned as a sit-down restaurant space tailored to the needs of older adults seeking social engagement.

The project aims to collaborate with trusted local developers and community-oriented organizations like The Enterprise Center to secure diverse funding sources, including grants from the Economic Development Administration (EDA) and the Pennsylvania Department of Commerce Planning and Local Technical Assistance. Youth involvement will be prioritized through apprenticeships facilitated by the Yeadon Education Athletic Association, while the celebration of Yeadon’s Black heritage will be emphasized by supporting Black-owned businesses. Additionally, resources such as the Pennsylvania Small Business Development Center and The Welcoming Center will be leveraged to assist aspiring restaurateurs, including immigrants, in realizing their culinary dreams.

Figure 4.5: Church lane vacant lot today. Source: Yeadon Team
Figure 4.6: Rendering of Phase I Concept of Church Lane Food Hall. Source: Yeadon Team

Church Lane Food Hall: Phase 2

Local Developer, The Enterprise Center, Yeadon EDC, ACANA, U.S. Economic Development Administration, Pennsylvania Small Business Development Center, The Welcoming Center, Pennsylvania Department of Commerce Planning and Local Technical Assistance

Years 1-8

Key Indicators:

Number of Visitors in Phase I, Number of Ground Floor Tenants

Signed by Opening, Number of Black-Owned Businesses, Number of Visitors in Phase II

Figure 4.7: Rendering of Exterior of Proposed Food Hall. Source: Yeadon Team
Figure 4.8: Rendering of Interior of Proposed Food Hall. Source: Yeadon Team
Yeadon Borough

Chester Avenue Recreation Center

The proposal for a community recreation center in Yeadon seeks to improve wellness and social unity in the borough’s southern area. Since the closure of the Yeadon Swim Club, the Borough has investigated options, including a YMCA and tennis facility, for the vacant Chester Avenue lot. Additionally, the Borough received a $500,000 grant from the PA Department of Community and Economic Development last year for a community center, prompting this plan’s renewed interest in the site.

The proposed community recreation center on Chester Avenue aims to be a versatile hub for activities, including those currently hosted by the Yeadon Education Athletic Association (YEAA) at Bell Avenue Elementary. It will feature amenities for all ages, such as a basketball gym, adult fitness center, and children’s play areas. Plans include outdoor spaces with a grass field and playground, with potential for a nature trail connecting to Bell Avenue Elementary. Meeting spaces will be available for community use, with one reserved for YEAA to help foster a sense of ownership. Collaboration with trusted local developers and potential partners like the YMCA or The Salvation Army enhances the project’s impact. Supported by funding from sources like the COVID-19 ARPA PA Multi-Purpose Community Facilities Program, the center addresses Yeadon’s recreational and social needs, contributing significantly to community well-being.

Goals Met: Implemented by: Potential Partners/Funding

Years 1-7

Timeline: Yeadon Borough

Key Indicators: Number of Guests

Estimated Costs:

YEAA, PA Dept. of Community and Economic Development, YMCA, The Salvation Army $$$$$

Figure 4.9: Current Street View of Chester Avenue Vacant Lot. Source: Google Maps
Figure 4.10: Rendering of Proposed Recreation Center. Source: Yeadon Team

Imagining Yeadon in 2035: Connect

Trolley Extension to

Redesign of Church Lane near Northern Entrance of Yeadon

Public access to cemeteries

Measure to decrease crashes

New sidewalk Cobbs Creek Park
Church Lane

Trolley Extension to Church Lane

SEPTA is currently exploring a new terminus for the T2 route to accommodate its longer future trolley vehicles. The plan recommends that Yeadon community leaders advocate for an extension of the SEPTA T2 trolley line by actively lobbying for SEPTA to extend the T2 line to build a new trolley station at Church Lane and Baltimore Avenue, with a potential turnaround point at the currently vacant (former Rite Aid pharmacy) at 950 E Baltimore Ave in Lansdowne. Residents stand to gain significantly from increased trolley frequency, offering opportunities to travel into Philadelphia. The proposed extension supports SEPTA’s overarching goal outlined in the SEPTA Trolley Modernization program, emphasizing fast, easy, and accessible public transit. While concerns about initial traffic impacts may arise, the longterm benefits include reduced traffic congestion as more residents opt for public transportation, alleviating the need for individual car trips into Philadelphia.

SEPTA’s renewed commitment to accessibility with new ADA-compliant trolleys will catering to the needs of Yeadon’s aging population. Moreover, the establishment of these new trolley stations promises enhanced safety and convenience for riders, as shown in the renderings above, eliminating the need to walk onto busy roads and climb steep stairs as current riders must. By championing this extension, Yeadon can spearhead a vital infrastructure improvement that not only enhances transit accessibility but also fosters sustainable urban mobility for the entire community. The Delaware Valley Association of Rail Passengers (DVARP) may also assist in organizing the advocacy for the trolley stop.

Years 1-3

Key Indicators:

Planned Implementation of a New Trolley Station at intersection of Church Lane and Baltimore Avenue, Number of Yeadon

Residents Using New Trolley Station

Redesign of Church Lane near Northern Entrance of Yeadon

Redesigning the intersection at Church Lane and Penn Street would serve as a vital step in preparing Yeadon for increased pedestrian traffic to the proposed new trolley station, as well as the existing Regional Rail station. Currently lacking clear sidewalk markings, this intersection poses challenges due to its heavy vehicular flow and has one of the highest number of crashes of any intersection in Yeadon, especially over the bridge connecting Yeadon to Lansdowne.

The proposed redesign would also be implemented in phases: Phase I involves delineation to provide clearer paths for cars and pedestrians, reducing the risk of crashes. This initial phase entails the addition of four crosswalks and improved visibility of driving lanes, as seen in Figure 4.12.

Subsequently, greening measures, such as tree planting and grass installation in traffic islands and curb extensions, will further enhance the intersection’s aesthetics and pedestrian safety. Additionally, a “Welcome to Yeadon” sign similar to the one that exists along Longacre Boulevard driving into the borough from the east, would welcome drivers and pedestrians alike into the borough, as it would be the first thing people see when they drive into Yeadon from the north along Church Lane. Securing approval from the Pennsylvania Department of Transportation, which would likely fund the project, is imperative for its realization. By improving access at this critical juncture, the project not only facilitates connections to all public transit options in Yeadon but also significantly enhances safety for commuters navigating this key transportation nexus.

Years 1-7

Key Indicators:

Number of Pedestrians Using Bridge,

Number of Car Crashes,

Number of Riders at New Trolley Station

Figure 4.12: Rendering of Church Lane and Penn Street Intersection Redesign. Source: Yeadon Team

Public Access to Cemeteries

Considering that nearly a third of Yeadon’s land is zoned as an institutional district, it is surprising that residents are not able to use one of the largest institutional spaces, which is Holy Cross Cemetery. Situated in the center of Yeadon, Holy Cross Cemetery is a privately-owned space that requires appointments to be visited. The company that currently owns Holy Cross (StoneMor), also owns Laurel Hill Cemetery in Philadelphia. Laurel Hill is known widely as a cemetery used for events as well as functioning like a public park for neighborhood residents to stroll in. The plan recommends that Yeadon Borough and the Yeadon EDC collaborate with StoneMor so Yeadon residents can use the cemetery as a green space. This would include making the cemetery public and expanding the operating hours so residents are able to walk in or through the cemetery without making an appointment.

Increased Foot Traffic in Holy Cross Cemetery

Figure 4.14: Laurel Hill Cemetery, Philadelphia. Source: Campus Philly
Figure 4.13: Holy Cross Cemetery. Source: Team Yeadon

Measures to Decrease Crashes

Goal 4 takes a longer look at how Yeadon residents actually get around Yeadon and how they can access key public amenities more safely. This recommendation involves the redesign of the curve of Church Lane into MacDade Boulevard, which is currently the highest-crash intersection in the borough. The plan proposes a collaboration with PennDOT to do a street redesign of MacDade Boulevard, including speed limit signs, speed tables, cameras, and slow signs in the road to protect pedestrians and drivers alike. These measures will discourage drivers from speeding on this busy road. This redesign would be more of an investment, but grants like the federal SS4A (Safe Streets and Roads for All) grant and the Transportation Alternative Set-Aside grants (TASA) would be applicable for this type of project. Implementing further safety measures would increase connectivity throughout Yeadon, allowing pedestrians to travel safely knowing that cars are driving more slowly down MacDade Boulevard.

Years 4-8

Key Indicators:

Decrease in Number of Crashes at Church Lane and MacDade Boulevard

Figure 4.16: Rendering of Possible MacDade Boulevard Traffic Calming. Source: Yeadon Team
Figure 4.15: Map of Crash Frequency in Yeadon. Data Source: PennDOT

New Sidewalk to Cobbs Creek Park

The next safety measure proposed in this plan is a sidewalk along Longacre Boulevard, which provides one of two entrances from Yeadon into Philadelphia’s Cobbs Creek Park. Recently, Philadelphia installed brand-new sidewalks along Cobbs Creek Parkway, which provide safety for bikers and pedestrians of all ages. This portion of the plan proposes using the same measures along Longacre Boulevard, which would increase safety overall and allow pedestrians to get to Cobbs Creek from Yeadon. Currently, the sidewalk along Longacre Boulevard is incomplete, forcing pedestrians to walk on the road or in the grass alongside it. Sidewalks can cost about $1,800 per 200-square-foot area, making this project approximately $15,000 for materials, plus the cost to hire structural engineers, who would design and build the sidewalk. The timeline for fixing the sidewalks could take anywhere from 2-8 years, depending on if Yeadon Borough applies for state and federal grants or is able to fund sidewalks from their capital budget. This recommendation would also involve collaborating with the City of Philadelphia, as about half of the road (which turns into Whitby Avenue) is in Philadelphia County.

Timeline:

Years 3-7

Key Indicators:

Increased Foot Traffic along Longacre Boulevard

Figure 4.18: New Sidewalk along Cobbs Creek Parkway in West Philadelphia. Source: Bicycle Coalition of Greater Philadelphia
Figure 4.17: Current Sidewalk along Longacre Boulevard. Source: Yeadon Team

Imagining Yeadon in 2035:

Engage

Trust-building practices

Expansion of the YEAA

Expansion of YEAA

Another important aspect of this plan is improving the quality of life for the youth of Yeadon. Goal 5 focuses on engaging high school students through programming. There are two recommendations attached to this goal, the first of which is expanding upon the YEAA, or Yeadon Education Athletic Association, whose goal is to connect with youth in Yeadon and provide after-school sports programming as well as mentorship.

Expanding upon this organization would involve getting them more funding. Because the YEAA is a 501(c) (3) nonprofit, they get most of their funding through grants. Along with those grants, the plan proposes that Yeadon Borough set aside some of their future budget specifically for youth development through the YEAA in the Parks, Recreation, and Youth Development section of the budget. As of the 2023 budget, Yeadon Borough allotted $5,000 for program development and support under this category.

The plan recommends that Yeadon Borough allots an additional $2,000-3,000 annually to benefit additional programming within the YEAA. This would be a shorterterm project dependent on collaboration between the YEAA and Yeadon Borough. The additional funding would allow for more high school programming. For example, teenagers could work in tandem with little league sports coaches to learn leadership skills with younger teams. The YEAA also hosts weekly mentorship talks on Saturdays at 8:30 am; the plan recommends hosting some local business owners who could talk to budding entrepreneurs about business models, money management, and conflict resolution with customers, also supported by Yeadon Borough funding.

Key Indicators:

Program Enrollment Numbers, Number of Adult Volunteers

Figure 4.19: YEAA Participant with Jersey. Source: YEAA

Skill Building-Workshops

In addition to hearing from local business owners, the plan recommends having students practice skills that they learn about. By having the YEAA partner with Yeadon businesses and spearhead this initiative, high schoolers could learn skills like hair and nail care, shopkeeping, and more! In addition, the plan proposes partnering with the North Church Lane Food Hall and setting aside a kitchen space for high school programs so Yeadon youth could have the opportunity to learn cooking skills and restaurant management.

This type of program would be supported by federal school-to-work grants provided to business owners, which specifically look to bring more students into the workforce in after-school programs. The Yeadon program would be based off of Philadelphia’s Big Picture Program, which was recently awarded a $250,000 grant from Pennsylvania’s Department of Labor and Industry. The Big Picture Program (BPP) gathers students from some of Philadelphia’s largest high schools to participate in real-world apprenticeship training in non-traditional, service-sector apprenticeships, including in culinary and human services.

Years 3-7

Key Indicators:

School Attendance PostEnrollment in Workforce Program

Figure 4.21: Teenager Learning to Cook. Source: YMCA
Figure 4.20: YEAA Mentorship Talk. Source: YEAA

Establish New Borough Communications Role

The primary recommendation to enhance community engagement involves creating a new position within the borough for a Head of Communications. This addition would help to bridge the gap between Yeadon’s leadership and its residents by facilitating timely information dissemination, fostering transparency, and bolstering community engagement initiatives.

The Head of Communications would be responsible for managing Yeadon’s digital platforms and coordinating community outreach efforts to ensure residents are wellinformed around the Borough’s public-facing activities. To explore the effectiveness of this role before committing to a permanent hire and adjusting the budget accordingly, the Borough may consider hiring a paid part-time intern from a local college. This approach would allow for an assessment of how best to leverage the position to enhance local government transparency, communication, and visibility. This role could conduct borough-wide engagement surveys to field feedback for official use, as well.

Currently, the Police budget allocates for $12,000 of educational bonuses that went unused as of the end of November 2023, as well as $5,000 for a Recreation/Youth Development/ Parks Summer Internship that also was untapped, so this could potentially be reallocated to pay for this temporary role. In the long term, the Borough may need to reassess and expand its budget to fund a permanent role which could also be paid as a part time employee to avoid additional labor costs. A part-time government role could cost the Borough anywhere between $30,000 and $80,000 depending on agreed hourly rates and the Borough’s needs for the role.

1-3

Figure 4.22: Yeadon Borough Hall. Source: Yeadon Team

Trust-Building Practices

This recommendation prioritizes commitments to trust and good governance among city officials. Mandating continued learning or education programs will reinforce the Borough’s commitment to good governance ideals. The Pennsylvania State Association of Boroughs (PSAB)’ “Newly Elected Municipal Officials” and “Certified Borough Officials” programs could provide strong foundational training for new and existing members, respectively. The Certified Borough Officials program requires the accumulation of 76 Certified Borough Official (CBO) credits, with tracks taking two to four years for completion. The training and webinars required for credits range from $75 to $200 and count for 1.5 to 3 credits. The “Newly Elected Municipal Officials” program takes place over two days and costs $125 to $150 per person for members of PSAB and non-members respectively.

Separately, leadership physically being more present in the community may help establish, or better cement, relationships with local residents and a commitment to the borough’s efforts whether it’s through a walk-a-thon, clean-athon, or showing up to a little league sports event. These lowcost activities could improve the cohesion and cultural fabric of the Borough.

Years 2-5

Key Indicators: Completion of Programs, Continued Participation in PSAB Trainings

Figure 4.23: Yeadon Council Reorganization Meeting. Source: Yeadon Borough
Figure 4.24: Pennsylvania State Association of Boroughs logo. Source: PSAB

Timeline of Recommendations

(This page left intentionally blank)

Text Sources

Introduction

Borough Overview

U.S. Census Bureau. “5-Year 2021 American Community Survey for Yeadon, PA.”

Historical Background

Delaware County History. “Yeadon Borough.” Accessed May 13, 2024. https://www.delawarecountyhistory.com/yeadonborough/ index.html; and “Locations: Delaware County, Pennsylvania.” The Encyclopedia of Greater Philadelphia. Accessed May 13, 2024. https://philadelphiaencyclopedia.org/ locations/delaware-county-pennsylvania/.

Borough of Yeadon. “History.” Accessed May 13, 2024. https://yeadonborough.com/about/history/.

The Encyclopedia of Greater Philadelphia. “Inner Suburbs.” Accessed May 14, 2024. https://philadelphiaencyclopedia.org/essays/inner-suburbs/.

The Encyclopedia of Greater Philadelphia. “Delaware County, Pennsylvania.” Accessed May 14, 2024. https://philadelphiaencyclopedia.org/locations/ delaware-county-pennsylvania/.

Pennsylvania Historical and Museum Commission. “Resource Details.” Accessed May 13, 2024. https://share.phmc.pa.gov/pashare/resources/limitedview/5863197.

Pennsylvania Historical and Museum Commission. “Resource Details.” Accessed May 13, 2024. https://share.phmc.pa.gov/pashare/resources/limitedview/5789336; Delco Today. “Yeadon’s Nile Swim Club Earns Place in History as 1st Black-Owned Swim Club.” May 2021. https://delco.today/2021/05/ yeadons-nile-swim-club-earns-place-in-history-as-1st-black-owned-swim-club/.

Pennsylvania Historical and Museum Commission. “Resource Details.” Accessed May 13, 2024. https://share.phmc.pa.gov/pashare/resources/limitedview/5745145.

Patch. “18M Historic Lansdowne Theater Restoration Project Now Underway.” Accessed May 13, 2024. https://patch.com/pennsylvania/haverford/18mhistoric-lansdowne-theater-restoration-project-now-underway.

Bloomberg News. “Pennsylvania’s Delaware County: A Tale of Balkanized Suburbs.” February 23, 2016. https://www.bloomberg.com/news/ articles/2016-02-23/pennsylvania-s-delaware-county-a-tale-of-balkanized-suburbs.

The Philadelphia Inquirer. “Flag Day Founder Origins Yeadon Delaware County.” June 13, 2020.

https://www.inquirer.com/life/flag-day-founder-orgins-yeadon-delaware-county-20200613.html.

“Mount Moriah Cemetery.” https://www.findagrave.com/cemetery/1619546/mount-moriah-cemetery

Existing Conditions

Physical Conditions

Friends of Mount Moriah Cemetery. “Friends of Mount Moriah Cemetery.” Accessed May 13, 2024. https://friendsofmountmoriahcemetery.org/.

Find a Grave. “Mount Moriah Cemetery.” Accessed May 13, 2024. https://www.findagrave.com/cemetery/1619546/mount-moriah-cemetery.

Philadelphia Catholic Cemeteries. “Holy Cross Cemetery.” Accessed May 13, 2024. https://www.philadelphiacatholiccemeteries.com/cemeteries/holycross-cemetery.

Find a Grave. “Graceland Cemetery.” Accessed May 13, 2024. https://www.findagrave.com/cemetery/2228166/graceland-cemetery.

U.S. Census Bureau. “5-Year 2011 American Community Survey for Yeadon, PA.” Tables DP02 - DP05.

U.S. Census Bureau. “5-Year 2021 American Community Survey for Yeadon, PA.” Tables DP02-DP05.

SEPTA. “Schedules.” Accessed May 13, 2024. https://www.septa.org/schedules.

Walk Score. Accessed May 13, 2024. https://www.walkscore.com/.

Natural Environment

William Penn School District. “RAP Curry Athletic Complex & Kerr Field Officially Opens.” Accessed May 13, 2024. https://williampennsd.org/rap-curryathletic-complex-kerr-field-officially-opens/.

Essential Utilities. “Essential Utilities Launches One of the Largest Urban Creek Restoration Projects in the U.S. Through $1 Million Donation to Cobbs Creek Foundation.” February 9, 2023. https://aquaamerica.gcs-web.com/news-releases/news-release-details/essential-utilities-launches-one-largest-u ban-creek-restoration.

Demographics

U.S. Census Bureau. “2020 US Decennial Census.”

Built Environment

Delaware Valley Regional Planning Commission. “Residential Building Permits, 2010-2016 DVRPC’s 28-County Extended Data Services Area.” Accessed May 13, 2024. https://www.dvrpc.org/products/db099/.

Google Maps. Accessed May 13, 2024.

CoStar Group. Accessed May 13, 2024. https://www.costar.com/.

Economic Conditions

U.S. Census Bureau. “Longitudinal Employer-Household Dynamics (LEHD) Origin-Destination Employment Statistics (LODES).” Accessed May 13, 2024. https://onthemap.ces.census.gov/.

Yeadon Economic Development Corporation. “Yeadon EDC.” Accessed May 13, 2024. https://yeadonedc.org/.

Community Life:

Borough of Yeadon. “Government: Borough Officials.” Accessed May 13, 2024. https://yeadonborough.com/government/borough-officials/.

Spirit News. “Yeadon Mayor Claims Eviction from His Office, Council President Said It Was a Routine Move.” Accessed May 13, 2024. https:// myspiritnews.com/articles/news/yeadon-mayor-claims-eviction-from-his-office-council-president-said-it-was-a-routine-move/.

Delaware County Homeless Services. “Delco Homeless Services.” Accessed May 13, 2024. https://delcohomelessservices.org/.

Borough of Yeadon. “Directory: The Yeadon NAACP.” Accessed May 13, 2024. https://yeadonborough.com/directory/the-yeadon-naacp/.

CoreLogic. “RiskMeter.” Accessed May 13, 2024. https://riskmeter.corelogic.com/.

Pennsylvania Department of Transportation. “Crash Information Tool.” Accessed May 13, 2024. https://crashinfo.penndot.pa.gov/PCIT/welcome.html.

Ballotpedia. “Mayor-Council Government.” Accessed May 13, 2024. https://ballotpedia.org/Mayor-council_government.

Youth Education in the Arts. “Youth Education in the Arts Mission.” Accessed May 14, 2024. https://www.yeaasports.org/custom_pages/4705/mission.

Recent Changes/Previous Planning Efforts: Yeadon Borough. “2001 Comprehensive Plan.” Accessed May 13, 2024. https://planningphotos.blob.core.windows.net/asset-c844ee49-9efc-40ca87ac-2b5d5d6d7b8d/Ordinances/YeadonBoroughComprehensivePlan.pdf.

Delaware County. “2035 Comprehensive Plan.” Accessed May 13, 2024. https://www.delcopa.gov/planning

Issues, Opportunities, and Goals

Caldwell, Ashley. “Yeadon mayor claims eviction from his office; Council president said it was a routine move.“ The Spirit News. November 2, 2022. https://myspiritnews.com/articles/news/yeadon-mayor-claims-eviction-from-his-office-council-president-said-it-was-a-routine-move/. Accessed May 9, 2024.

Delco Times. “Yeadon Crisis: Mayor Says Not Safe.” November 25, 2022. https://www.delcotimes.com/2022/11/25/yeadon-crisis-mayor-says-not-safe/.

Google Maps. Accessed May 13, 2024.

Nile Swim Club. “Nile Swim Club.” Accessed May 13, 2024. https://www.nileswimclub.org/.

BlackPast. “The Hilldale Athletic Club, 1910-1932.” Accessed May 13, 2024. https://www.blackpast.org/african-american-history/the-hilldale-athletic-club-1910-1932/.

Phila Africatown. Accessed May 13, 2024. https://philaafricatown.org/.

The Philadelphia Inquirer. “Southwest Philly Businesses Boom as Immigrants Drive Growth.” April 16, 2022. https://www.inquirer.com/business/southwest-philly-businesses-immigrants-growth-retail-amazon-20220416.html.

Yeadon Economic Development Corporation. Accessed May 13, 2024. https://yeadonedc.org/.

SEPTA. “Trolley Modernization.” Accessed May 13, 2024. https://wwww.septa.org/trolley-modernization/.

U.S. Census Bureau. “5-Year 2021 American Community Survey.”

Return to Learn Tracker. Accessed May 13, 2024. https://www.returntolearntracker.net/.

Bloomberg News. “Pennsylvania’s Delaware County: A Tale of Balkanized Suburbs.” February 23, 2016. https://www.bloomberg.com/news/articles/2016-02-23/pennsylvania-s-delaware-county-a-tale-of-balkanized-suburbs.

Yeadon Area Athletic Sports Organization. Accessed May 13, 2024. https://www.yeaasports.org/.

City of Atlanta. “West End Urban Design Commission.” Accessed May 13, 2024. https://www.atlantaga.gov/government/departments/city-planning/office-of-design/urban-design-commission/west-end.

Sheehan, Brian, Frances Wang, and David Chang. “Yeadon Borough Council votes to fire police chief after allegations of overspending.” 6abc Action News. February 18, 2022. https://6abc.com/chief-anthony-paparo-yeadon-pa-borough-council-vote-police-job/11575546/. Accessed May 9, 2024.

Smart Cities Dive. “What Cities Can Learn from Greater Toronto’s Transit-Oriented Development.” Accessed May 13, 2024. https://www.smartcitiesdive. com/ex/sustainablecitiescollective/what-cities-can-learn-greater-toronto-s-transit-oriented-development/1067166/.

Recommendations

Urban Design and Transportation Journal. Accessed May 13, 2024. https://udtj.org/.

Delaware County Arts Consortium. “Lansdowne Arts on the Avenue Festival 2023.” Accessed May 13, 2024. https://delcoarts.org/event/lansdowne-arts-on-the-avenue-festival-2023/.

The Pew Center for Arts & Heritage. Accessed May 13, 2024. https://www.pewcenterarts.org/.

WHYY. “Upper Darby’s First Mural Arts Program.” Accessed May 13, 2024. https://whyy.org/articles/upper-darby-first-mural-arts-program/.

Phila Africatown. Accessed May 13, 2024. https://philaafricatown.org/.

African Cultural Alliance of North America. Accessed May 13, 2024. https://acanaus.org/.

The Enterprise Center. Accessed May 13, 2024. https://www.theenterprisecenter.com/.

Pennsylvania Department of Community and Economic Development. “COVID-19 ARPA PA Multi-Purpose Community Facilities Program.” Accessed May 13, 2024. https://dced.pa.gov/programs/covid-19-arpa-pa-multi-purpose-community-facilities-program/.

SEPTA. “Trolley Modernization: Vehicles.” Accessed May 13, 2024. https://wwww.septa.org/trolley-modernization/vehicles/.

HistoryLand Memorial Park. “The HistoryLand Difference.” Accessed May 13, 2024. https://historylandmemorialpark.com/the-historyland-difference/.

U.S. Department of Transportation. “Safe Streets and Roads for All (SS4A) Grant Program.” Accessed May 13, 2024. https://www.transportation.gov/ rural/grant-toolkit/safe-streets-and-roads-all-ss4a-grant-program.

Pennsylvania Department of Transportation. “Transportation Alternatives Set-Aside - Surface Transportation Block Grant Program.” Accessed May 13, 2024. https://www.penndot.pa.gov/ProjectAndPrograms/Planning/Pages/Transportation%20Alternatives%20Set-Aside%20-%20Surface%20Trans.%20 Block%20Grant%20Program.aspx.

TechEd Magazine. “Schools to Work Grants in Pennsylvania.” Accessed May 13, 2024. https://www.techedmagazine.com/schools-to-work-grants-inpennsylvania/.

Big Picture Philadelphia. Accessed May 13, 2024. https://www.bigpicturephiladelphia.org/.

Pennsylvania State Association of Boroughs. “Nemo Project Welcome.” Accessed May 13, 2024. https://boroughs.org/subpage.php?link=nemo_ welcome.

(This page left intentionally blank)

Turn static files into dynamic content formats.

Create a flipbook
Issuu converts static files into: digital portfolios, online yearbooks, online catalogs, digital photo albums and more. Sign up and create your flipbook.
UPenn CPLN 6000: Yeadon Comprehensive Plan by Hailey Hyun - Issuu