ui 218 / 10.23

Page 1

Das Heimatmagazin aus Hauzenberg mit Amtsblatt

Hannah Schurm (rechts im Bild) und Aeryn van den Berg starten voller Spannung ihre Arbeit bei uns in der Kanzlei.

Das 20-köpfige Team wird sie dabei tatkräftig unterstützen!

Wir begrüßen unsere Neuzugänge!

den Aus-

Kommend von der Bayerischen Finanzverwaltung verstärkt Hannah (rechts) als Dipl. Finanzwirtin (FH) bereits seit April unser Team und tritt in die Fußstapfen ihrer Eltern. Aeryn startet nach dem Abitur ihre Ausbildung zur Steuerfachangestellten. Wir freuen uns, dass ihr da seid!

Schurm, Granat & Partner mbB Steuerberater Dr.-Schindler-Straße 9 | 94107 Untergriesbach | +49 (0) 85 93 9001-0 | www.steuerkanzlei-schurm.de
Bewirb dichjetzt für
bildungsstart 2024

Allem Leben, allem Tun, aller Kunst muß das Handwerk vorausgehen, welches nur in der Beschränkung erworben wird. Eines recht wissen und ausüben gibt höhere Bildung als Halbheit im Hundertfältigen.

Kreative und fleißige Hände braucht das Land

Schon der Titel verrät es: Dieses Editorial ist, wie diese gesamte Oktober-ui, getragen von einer Wertschätzung und Anerkennung der beruflichen Bildung, einer Lehre, dem Handwerk. Dabei geht es mir hier nicht so sehr um die wirtschaftliche Seite des Berufslebens, denn längst ist das alte Sprichwort „Handwerk hat goldenen Boden“ Realität geworden. „Handwerker“ sind gesucht und gefragt wie nie zuvor, Berufs- und Beschäftigungsaussichten ungetrübt und die Verdienstmöglichkeiten schon in den Ausbildungsjahren wirklich „goldig“. Aber dennoch bleiben viele Ausbildungsstellen unbesetzt und es fehlt an qualifizierten Handwerkern, an Arbeitskräften, an allen Ecken und Enden. Ist es die „Arbeit“, die körperliche Leistung, die uns vom Erlernen eines Handwerksberufes abhält?

Es scheint so zu sein, dass körperliche Arbeit ein Imageproblem hat, insbesondere aber nur dann, wenn es sich um „bezahlte Arbeit“ handelt. In unserer Freizeit, bei unseren Hobbys und Aktivitäten, schinden wir uns gelegentlich mit immenser Ausdauer und Begeisterung bis zur körperlichen Erschöpfung. Die Erfahrung der körperlichen Leistungsfähigkeit, der individuellen Kreativität und Gestaltungsmöglichkeit bereitet uns Freude und ist Ansporn und Motor für oft außergewöhnliche Ergebnisse. Leistung, Motivation, Kreativität, Gestaltung – alles

wichtige Wesensbeschreibungen des Menschen, Fähigkeiten, die uns vom Tier unterscheiden und es ermöglichen uns selbst zu erfahren, zu erkennen, zu bestätigen. Das treibt uns an und macht Freude. In den modernen, stark arbeitsteiligen, industriellen Produktionsabläufen ist diese Erfahrbarkeit der persönlichen Leistungsfähigkeit verloren gegangen. Als Rädchen im Getriebe ist das Produkt meiner Arbeit nur noch schwer erkennbar, Individualität und Kreativität sind fremd und nicht gefragt.

Im Handwerk ist das – gottlob – oft noch anders. Hier trägt die persönliche Leistung, das Können, entscheidend zum Arbeitserfolg bei. Ein Arbeitserfolg, der in der Regel unmittelbar nach getaner Arbeit am Abend oder bei Projektabschluss, direkt erlebbar ist. Und wenn es ein gutes Ergebnis ist, bin ich zu recht stolz und froh über mein Können und meine Arbeitsleistung. Alles was ich dazu brauche, ist die Freude an der (kreativen) Arbeit und natürlich auch ein Interesse und die Motivation an dem, was ich bearbeite und tue. Das gut zu lernen und leidenschaftlich zu tun, ist der Weg in eine interessante, befriedigende und glückliche Erwerbstätigkeit. Was ich mir von der Gesellschaft, von uns „Kunden“ wünsche, ist die Anerkennung dieser Handwerksleistung. Nicht nur, weil wir sie brauchen – Amazon repariert keine tropfenden Wasserhähne –sondern weil wir die Qualität und Leistung jedes Einzelnen dieser Handwerker ehrlich schätzen und achten. Handwerk hat nicht nur goldenen Boden, Handwerk ist auch unsere Zukunft. Ohne die kreativen und fleißigen Hände dieser „Werker“ kann das Land nicht bestehen.

Impressum

»ui Hauzenberg« ist ein Magazin, das über Kultur, Leben und Wirtschaft in der Region berichtet. »ui« erscheint monatlich in der ui Verlag GmbH. Das Amtsblatt der Stadt Hauzenberg ist Teil der Ausgabe. Abdruck, auch auszugsweise, nur mit schriftlicher Genehmigung des Herausgebers.

herausgeber / anschrift der redaktion ui Verlag GmbH

Danglmühle 19 • 94051 Hauzenberg

Telefon (0 85 86) 97 94 23

Telefax (0 85 86) 97 94 27 redaktion@ui-hauzenberg.de www.ui-hauzenberg.de

redaktion / inhalt

für »ui« Manfred Sommer (redaktion@ui-hauzenberg.de)

amtsblatt

Stadt Hauzenberg (stadtinfo@hauzenberg.de)

text, fotos und illustration

Centa Allmannsberger, Thomas Heindl, Reinhold Korbl, Albert Lehner, Daniel Anetzberger, Andreas Windpassinger, Josef Schmid, Manfred Sommer (sofern nicht anders angegeben)

anzeigen

werbung@ui-hauzenberg.de

Klara Windpassinger

grafische gestaltung

Thomas Heindl, H2 Design buero@h2design.bayern

druck

PASSAVIA, Passau www.passavia.de

auflage

6.000 Stück

verteilung

Per Postzustellung an alle Haushalte. Außerdem liegt »ui« in allen teilnehmenden Geschäften und in folgenden Raiffeisenbanken und Sparkassen zur Mitnahme aus: Hauzenberg, Sonnen, Breitenberg, Wegscheid, Untergriesbach, Obernzell, Salzweg, Thyrnau, Büchlberg, Waldkirchen. erscheinungstermin nächste ausgabe 07. November 2023

anzeigenannahmeschluss

27. Oktober 2023

3
ui | Editorial von Manfred Sommer
Johann Wolfgang von Goethe *28.08.1749 +22.03.1832

Ich bin gelernte Automobilkauffrau und habe festgestellt, dass das Büro nichts für mich ist. Ich brauche was Vielseitiges und keinen faden Schreibtischjob. Auf der Baustelle sieht man nach einem Arbeitstag, dass was vorangegangen ist, dass man was getan und geschafft hat – das ist ein gutes Gefühl.

4 ui | Ausbildung & Beruf
Nadine Wieninger, 22 Jahre Ausbildung zur Anlagenmechanikerin für Sanitär, Heizung und Klimatechnik bei Wieninger Haustechnik in Haag
„ “

Schon bevor ich mich mit Berufen befasst habe, war mir klar, dass ich einmal Schreiner werden will. Später als Realschüler wurde mir bewußt, dass ich Aktivität brauche, was mit den Händen tun muss, und keiner bin, der stundenlang vor dem PC sitzen mag.

5 ui | Ausbildung &
Beruf
Joel Hauzeneder, 17 Jahre Ausbildung zum Schreiner bei Schneider Interior GmbH in Hauzenberg

Ich habe jetzt meine Lehre als Informationselektroniker erfolgreich abgeschlossen und starte gerade eine einjährige Meisterausbildung im „Informationstechnik Handwerk“. Lehre und Ausbildung ist niemals eine Sackgasse, sondern bietet viele weitere Qualifizierungsmöglichkeiten – das ist phantastisch.

6 ui | Ausbildung & Beruf
Simon Unter, 21 Jahre Ausbildung zum Informationselektroniker bei EP Sabo, Hauzenberg + Meisterschüler
„ “

Miteinander Zukunft gestalten.

È KAUFMANN/FRAU für Büromanagement

È FACHINFORMATIKER/IN für

• Systemintegration

• Digitale Vernetzung

• Daten- und Prozessanalyse

• Anwendungsentwicklung

ACP IT Solutions AG (vormals SWS Computersysteme AG) ist seit 1987 ein führendes IT-Systemhaus. Wir sind ständig auf der Suche nach motivierten Mitarbeiter*innen zur Verstärkung unseres Teams.

Trage zu unserem langjährigen Unternehmenserfolg bei. Wir bieten Dir Ausbildungsmöglichkeiten mit langfristigen beruflichen Perspektiven. Es erwartet Dich ein innovativer und inspirierender Arbeitsplatz, der es Dir ermöglicht, Deiner Produktivität und Kreativität freien Lauf zu lassen. @acp_gruppe

Besuch uns auf der AUSBILDUNGSMESSE HAUZENBERG, Stand Nr. 48.

JETZT BEWERBEN unter www.acp.de/ hzb/karriere

FIRMENZENTRALE HAUZE NBERG Brückenstr. 34 • 94051 Hauzenberg NIEDERLASSUNG NÜR NBERG Nordostpark 16 • 90411 Nürnberg NIEDERLASSUNG REGE NSBURG Im Gewerbepark D75 • 93059 Regensburg Kostenloses frisches Obst, Wasser und Kaffee Gutscheinkarte Edenred Geförderte Weiterbildung Softshelljacke, Poloshirts, Hemden, Blusen
8 www.ausbildungsmesse-hauzenberg.de GRANITSTARKE JOBS in und um Hauzenberg 19. — 20. Oktober Donnerstag, 19. Oktober: 12:00 – 16:00 Uhr Freitag, 20. Oktober: 08:30 – 17:00 Uhr Dreifachturnhalle Hauzenberg AUSBILDUNGSMESSE HAUZENBERG 2023

Die Hauzenberger Ausbildungsmesse findest Du auch online:

www.ausbildungsmesse-hauzenberg.de

Du kannst auch einfach den QR-Code (unten) scannen.

Hier findest Du alle Aussteller der diesjährigen Messe. Die Seite ermöglicht es Dir jederzeit alle Informationen zu einer bestimmten Firma, einer Behörde oder Fachschule nachzulesen. Verschaffe Dir einen genauen Überblick über die angebotenen Ausbildungsstellen, Praktikumsstellen und Studienmöglichkeiten.

Solltest Du Fragen an einen bestimmten Aussteller haben, steht Dir auch online jederzeit ein Ansprechpartner bereit. Die Seite bleibt natürlich auch nach der Messe bestehen, so kannst Du Dich jederzeit auch im Nachgang wieder informieren.

Also los und schau vorbei – online oder präsent –auf der Hauzenberger Ausbildungsmesse!

Hier findest Du viele Informationen zur Hauzenberger Ausbildungsmesse, den teilnehmenden Firmen, Behörden oder Fachschulen:

SCAN MICH
9

Teilnehmende Betriebe, Bildungseinrichtungen und Behörden:

ACP IT Solutions AG, Hauzenberg Stand 48

Autohaus Amsl, Hauzenberg Stand 23

Amt für Ernährung, Landwirtschaft und Forsten, Passau Stand 35

AOK Bayern – Die Gesundheitskasse, Passau Stand 38

Aptar Freyung GmbH, Freyung Stand 28

AZURIT Pflegezentrum, Hutthurm Stand 33

Karl Bachl GmbH & Co. KG, Röhrnbach Stand 19

Herbert Bauer GmbH & Co. KG, Obernzell Stand 59

Bayerwald®–Fenster, Haustüren GmbH & Co. KG Neukirchen v.W. Stand 19

BayWa AG + BayWa CS GmbH, München Stand A1

Beinbauer Automotive GmbH & Co. KG, Büchlberg Stand 45

Berufsfachschule für Hotel- u. Tourismusmanagement, Grafenau Stand 31

Berufsfachschule für Physiotherapie, Freyung Stand 25

Berufsschulzentrum Vilshofen

(Kinderpflege, Sozialpflege, Ernährung und Versorgung), Vilshofen Stand 36

Brillux GmbH & Co. KG, Passau Stand 54

BRK Kreisverband Passau, Passau Stand 51

Bundeswehr - Karriereberatungsbüro, Deggendorf Stand 52

Caritasverband für die Diözese Passau e.V., Hauzenberg Foyer

Kreis-Caritasverband Freyung Grafenau e.V., Freyung Stand 26

Draxinger GmbH Hauzenberg Stand 18

Drexler Automotive GmbH, Salzweg Stand 63

EDEKA Schwaiberger, Tiefenbach Stand A7

Edscha Automotive GmbH, Hauzenberg Stand 46

Steuerkanzlei Martina Essl, Hauzenberg Stand 58

EVS Hydrogen Walter Seidl, Untergriesbach Stand 12

Fachakademie für Sozialpädagogik, Grafenau Stand 14

Fachakademie für Sozialpädagogik, Passau Stand 61

Fürst Reisen GmbH & Co. KG, Hutthurm Stand A4

Modehaus Garhammer, Waldkirchen Stand 27

GKS Gesellschaft für Kommunikationsservice mbH, Passau Stand 13

Graphit Kropfmühl GmbH, Hauzenberg Stand 29

Handwerkskammer Niederbayern-Oberpfalz, Passau Stand 02

Hauptzollamt Landshut, Altdorf Online

Elektro Hazod GmbH, Hauzenberg Stand 57

Herzpraxis Salzweg, Salzweg Stand 08

JELBA Werkzeug- und Maschinenbau GmbH & Co. KG, Hauzenberg Stand 62

Friseur Kitzberger, Untergriesbach

Kliniken am Goldenen Steig gGmbH / Berufsfachschule für Pflege, Freyung

Stand 41

Stand 49

Kliniken Dritter Orden gGmbH, Standort Kinderklinik Passau / Berufsfachschule für Pflege, Passau Stand 03

Knaus Tabbert AG, Jandelsbrunn

Stand 40

Kneidinger GmbH, Hauzenberg Stand 30

Landratsamt Passau, Passau Stand 21

Lohschmidt Versicherungsmakler GmbH, Hauzenberg Stand 22

M & S Fertigungstechnik GmbH, Hauzenberg Stand 10

Meusburger Fahrzeugbau GmbH, Eging am See Online

Landrefugium Obermüller, Untergriesbach Online

Open Grid Europe GmbH, Betriebsstelle Wildenranna, Wegscheid Stand A6

Oskar Müller GmbH & Co. KG, Hauzenberg Stand 53

PARAT Solutions GmbH, Neureichenau Stand 39

PARAT Technology GmbH & Co. KG, Neureichenau Stand 15

Patricio Travel GmbH, Obernzell Stand 01

Josef Pfaffinger Bauunternehmung GmbH, Passau Stand A3

Pflegeakademie Bayerischer Wald gGmbH, Grafenau Stand 34

Geniesserbäckerei Pilger e.K., Breitenberg Stand 55

Bayerische Polizei Stand 09

Premiumhotels Bayerischer Wald, Regensburg Stand A8

Private Berufsakademie Passau gGmbH, Passau Stand 20

PROWIN A+W Automationstechnik GmbH, Hauzenberg Stand 64

EP: Sabo, Hauzenberg Online

Schmid Service GmbH, Hauzenberg Stand 32

Schneider Interior GmbH, Hauzenberg Stand 17

Schörghuber Spezialtüren GmbH, Hauzenberg Stand 05

Schurm, Granat & Partner mbB Steuerberater Untergriesbach Foyer

Segl Bauzentrum GmbH, Hauzenberg Stand 43

Sparkasse Passau, Passau Stand 50

Glaserei Späth, Hauzenberg Stand 56

Stadt Hauzenberg, Hauzenberg Stand 24

Stahlbau Wegscheid GmbH, Wegscheid Stand 37

Das Stemp****S Wellnessresort, Büchlberg Stand 11

Stemplinger - Gesellschaft für Konstrukion, Verzahnungsund Fertigungstechnik mbH, Hauzenberg Stand 44

SUMIDA Components & Modules GmbH Obernzell Stand 47

Vogelsberger Quarzglastechnik

Klaus Dieter Kindl GmbH, Hauzenberg Stand 42

ICU Global Mobility Services GmbH, Hauzenberg Stand 16

VR-Bank Passau eG, Passau Stand 07

Wundsam Bau GmbH Hauzenberg Stand A5

Stand in der Halle Stand im Außenbereich Online

Zahnärztlicher Förderkreis Passau ZÄF, Hauzenberg Stand 04

Berbinger Granitwerk Georg Zankl GmbH, Hauzenberg Stand A2

Zellner Möbel, Hauzenberg Stand 06

ZF Friedrichshafen AG Passau Stand 60

A
B
C
D
E
F
G
H
I
J
K
L
M
O
P
S
V
W
Z

Übersicht Halle und Außengelände

Eingang Dreifach-Turnhalle Eingang Ausstellerhalle CATERING 1 2 3 4 5 6 7 8 9 10 11 12 13 14 15 64 46 47 29 28 A8 A7 A6 A5 A3 A2 A1 Foyer A4 25 27 24 26 23 48 30 49 31 50 32 51 33 52 34 53 35 54 36 55 17 18 19 20 22 21 37 63 45 62 44 61 43 60 42 59 41 58 40 57 39 56 16 38 Ausgang Ausstellerhalle
Standnummer Wegeführung Notausgang 1 A1 11

Draxinger GmbH

Werkzeugbau Stanz-Umformtechnik

Wir sind seit über 60 Jahren ein erfolgreiches Familienunternehmen im Bereich der Antriebs- und Fahrwerktechnik. Als High-Level-Lieferant entwickeln und fertigen wir innovative Werkzeuge und technisch modernste Präzisionsteile

Zum Ausbildungsbeginn am 01. September 2024 suchen wir

Auszubildende zum Werkzeugmechaniker (m/w/d)

Du bringst mit:

 handwerkliches Geschick, Detailgenauigkeit und technisches Verständnis

 logisches Denken und räumliches Vorstellungsvermögen

 Interesse am Umgang mit Maschinen

 Teamfähigkeit

 qualifizierenden Hauptschulabschluss oder mittlerer Reife

Wir haben einiges zu bieten:

 Lernzeiten im Betrieb, um Ausbildungsinhalte zu vertiefen

 Umfangreiche Sozialleistungen

 attraktive Entlohnung

 vierteljährliche Anwesenheitsprämie

Fragen zur Ausbildung und den Inhalten beantwortet gerne:

Stefan Pilsl, Ausbildungsleiter

Draxinger GmbH Werkzeugbau Stanz- und Umformtechnik

Jahrdorferschacht 10 • 94051 Hauzenberg

Tel. 08586 9764-24 • Mail: s.pilsl@draxinger.com

Ausbildung zum Sozialversicherungsfachangestellten (m/w/d) ab 01.09.2024 in der Direktion Passau-Rottal-Inn

Das erwartet dich

• Verantwortungsvolle Tätigkeiten mit und für Menschen

• Kommunikation mit Kunden

• Erwerb von Fachkenntnissen in Sozialversicherungs- und Rechtslehre, Marketing und Datenschutz sowie Rechnungswesen und Wirtschaftslehre

Das bringst du mit

• Abitur, Fachhochschulreife oder mittlere Reife

• Sehr gute schriftliche und mündliche Ausdrucksweise

• Ein offenes und freundliches Auftreten

• Einsatzbereitschaft, Kunden- und Serviceorientierung sowie Reisebereitschaft

Schwerbehinderte Menschen werden bei gleicher Eignung bevorzugt berücksichtigt.

Zeig uns, wer du bist!

• Wir freuen uns auf deine Onlinebewerbung.

• Für Fragen zur Ausbildung steht dir Birgit Holzner (Telefon 0851 5302-302) gern zur Verfügung.

www.aok.de/karrierestart

12 ui | Ausbildungsmesse Hauzenberg 2023 Attraktives Tarifgehalt 1. Jahr 1.124 € 2. Jahr 1.184 € 3. Jahr 1.261 € 35 Stunden Pro Woche Zertifizierte Ausbildung Nachhaltige Ziele UNSERE EXTRAS FÜR EIN STARKES TEAM scan me Besuche uns auf der Ausbildungsmesse in Hauzenberg am 19. & 20. Oktober!
Ausbildungsmesse Hauzenberg 2023 Stand
18

LIKE IT. DO IT.

AUSBILDUNG BEI PFAFFINGER

n BETON- UND STAHLBETONBAUER

n ROHRLEITUNGSBAUER

n FACHKRAFT FÜR ROHR-, KANAL- UND INDUSTRIESERVICE

n BAUGERÄTEFÜHRER

n ANLAGENMECHANIKER

n KONSTRUKTIONSMECHANIKER

n LAND- UND BAUMASCHINENMECHATRONIKER

n TECHNISCHER PRODUKTDESIGNER

n BAUZEICHNER

n VERMESSUNGSTECHNIKER

n INDUSTRIEKAUFMANN

n KAUFMANN FÜR BÜROMANAGEMENT

n FACHINFORMATIKER FÜR SYSTEMINTEGRATION

Viele berufeAusbildungssind auch als DUALES STUDIUMmöglich

PFAFFINGER UNTERNEHMENSGRUPPE Herrn Daniel Hauer l Wiener Str. 35 l 94032 Passau Telefon +49 851 390 - 11 21 l ausbildung@pfaffinger.com l www.pfaffinger.com
INTERESSIERT? www.pfaffinger.com/ausbildung Zur Verstärkung unseres Teams bieten wir folgende Ausbildungsplätze (m/w/d) an:

Jetzt bewerben!

Schule fertig? Dann komm zu uns als

Azubi

zum Schreiner (m/w/d)

Bei uns bekommst du das BGJ vergütet! Interesse?

Dann besuch uns am Stand Nr. 5 auf der Ausbildungsmesse in Hauzenberg.

Schörghuber – der führende Anbieter von Spezialtüren aus Holz Industriestraße 11, 94051 Hauzenberg-Jahrdorf www.schoerghuber-karriere.de

14 ui | Ausbildungsmesse Hauzenberg 2023

Es erwartet Dich ein abwechslungsreiches Arbeitsumfeld in einem innovativen und zukunftsorienten Unternehmen, ein gutes, wertschätzendes Betriebsklima & gemeinsame Firmenevents. Darüber hinaus eine individuelle und persönliche Förderung sowie vielfältige Entwicklungsmöglichkeiten.

Stand

16 Wundsam Bau GmbH Wastlweg 3 94051 Hauzenberg Tel. 08586 97577-0 www.wundsam-baugmbh.de Starte mit uns Deine Zukunft in der Baubranche! Noch Fragen? Melde Dich gerne bei uns. WIR BILDEN AUS:  Informationselektroniker (m/w/d) für Sende-, Empfangs- und Breitbandtechnik  Straßenbauer (m/w/d)
 Rohrleitungsbauer (m/w/d) AUSBILDUNGSMESSE HAUZENBERG STAND A5 Bayerwaldstr. 10, 94051 Hauzenberg 08586 - 9601-0 info@steuerkanzlei-essl.de www.steuerkanzlei-essl.de Wir bilden aus!
Ausbildungsmesse in Hauzenberg am
Besuchen Sie uns auf der
19 + 20.10.2023
58 teuerkanzlei Martina Essl
Unternehmen
Interesse
Bewirb
AUSBILDUNG BEI JELBA JELBA GMBH & Co.KG / 94051 Hauzenberg / Tel.: 08586 - 9638-0 / Mail: info@jelba.de WWW.JELBA.DE Innovation braucht kluge Köpfe Für
Ausbildungsbeginn
IndustriemechanikerKonstruktionsmechanikerZerspanungsmechanikerMechatronikerIndustrie - KaufleuteFachkraftfürLagerlogistik ui | Ausbildungsmesse Hauzenberg 2023
Kompetenz für
und Privatpersonen
geweckt?
dich jetzt!
den
zum 02.09.2024 bieten wir folgende Ausbildungsberufe (m/w/d):

13 Ausbildungsberufe und duale Studiengänge

Berufsfachschule für Physiotherapie Freyung

Ausbildung ab 1. Oktober

Physiotherapeut*in

Schulbegleitendes Bachelor-Studium möglich

Infos für Ihre Bewerbung erhalten Sie unter: www.physio-frg.de

Tel.

bfs.physio.frg

Sie suchen Mitarbeiter/innen. Buchen Sie mind. 3 Anzeigen für die nächsten Ausgaben und Sie erhalten

30 Prozent Rabatt!

Platzierung

INTERESSE?

Tel. 0 171 - 8 12 94 95

E-Mail: werbung@ui-hauzenberg.de

| Ausbildungsmesse Hauzenberg 2023

Starte bei ZF in Passau und mach eine Ausbildung oder ein duales Studium – bewirb Dich jetzt unter: ausbildungsfinder.zf.com

17 ui
Birkenweg 1 | 94078 Freyung 08551-964545
Stellen Markt
der Stellenanzeigen als Anzeigenkollektiv.

Verkaufsoffener Sonntag

15. Oktober 2023 von 12:00 bis 17:00 Uhr

Jetzt im Oktober – genauer gesagt am Sonntag, den 15. Oktober - herrscht in unserer Innenstadt von 12 bis 17 Uhr wieder ein reges Treiben. Ein Herbstmarkt mit verkaufsoffenem Sonntag lädt zu einem Besuch in der Innenstadt, Schlendern durch die Stände und Verweilen ein. Mit einem vielfältigen Programm will man Jung und Alt zu einem gemütlichen Sonntagsausflug mit viel Geselligkeit einladen.

Rund um unseren Marktbrunnen von oben bis unten erstreckt sich das Marktprogramm mit verschiedenen Ständen, Ausstellungen, musikalischen Darbietungen und kulinarischen Schmankerln. Zahlreiche Fieranten bieten ihre Waren an. Für das leibliche Wohl wird auch bestens gesorgt, die Auswahl reicht von Pizza, zu Burger, zu Süßem wie Krapfen und Co. Eine Hüpfburg und ein Kinderprogramm der „Freunde der Malerei“ bespaßen auch die jüngsten Besucher.

Ein Besuch am 15. Oktober lohnt sich auf jeden Fall!

Wir freuen uns auf Ihr Kommen!

Die Fachgeschäfte in der Innenstadt laden zum Durchschauen und Stöbern ein. Aber auch außerhalb haben Geschäfte, wie das Segl Bauzentrum und die Ausstellungshalle Zankl Granit geöffnet. Weiterhin gibt es für den verkaufsoffenen Sonntag mancherorts auch besondere Aktionen: Segl Bauzentrum GmbH: 10 % Aktion auf den gesamten Einkauf

Schuh Klinger: 10% auf die neue Kollektion (ausgenommen reduzierte Artikel, Werkstatt sowie Furnituren)

Foto Dünnbier: Selfie Box Fotoaktion mit dem Thema „Red Carpet“

Schmuck Klinger: 10 % Aktion auf das gesamte Sortiment (ausgenommen handgearbeitete und reduzierte Ware)

Kleinstadtliebe Hauzenberg: 10 % auf Kleinstadtliebe-Wear

18 ui | Stadt Hauzenberg
HAUZENBERG

Wir rollen den roten Teppich für Sie aus!

„Erleben Sie Glamour pur am verkaufsoffenen Sonntag! Die Geschäfte von H!aktiv laden Sie herzlich ein zur „Roter-Teppich“-Aktion. Denn als Kunde sind Sie König – und dafür rollen wir für Sie den roten Teppich aus, damit Sie sich wie ein wahrer Star fühlen können. Spazieren Sie entlang des Teppichs, der Sie zu jedem einzelnen Geschäft führt, wo viele Aktionen und Angebote warten. Doch das

ist nicht alles – nehmen Sie teil an unserer Fotoaktion: In einer Selfie-Box mit speziellem Bildhintergrund der Innenstadt und dem roten Teppich können Sie sich selbst ins Rampenlicht setzen! Kommen Sie, entdecken Sie die Vielfalt der Innenstadt und genießen Sie ein Einkaufserlebnis der Extraklasse, bei dem Sie im Mittelpunkt stehen!“

19 ui | Verkaufsoffener Sonntag
Fotos: Reinhold Korbl
AKTION Outdoor Wellness Sommer Großer Schlussverkauf Ausstellungsstücke jetzt deutlich reduziert! Die Grillsaison ist noch nicht vorbei Masterbuilt MES 140 B Digitaler Elektro Smoker statt UVP 329,00 € Mitnahmepreis 294,00 € Traeger Pro D2 575 Holzpelletgrill Abdeckhaube + Frontablage gratis statt 1.174,00 € nur 899,00 € AKTION
BBQ

10 % Rabatt

Kamado Joe® Kettle Joe statt UVP 649,00 €

AKTION Bad

Knaller Preise

Entdecke unsere große Dutch Oven Welt schon ab 39,95 € auf alle Pizzaöfen und Zubehör von Witt und Ooni Knaller Preise

Aktionen nur gültig im Laden Hauzenberg und solange Vorrat reicht. Preise gültig ab Laden Hauzenberg, ohne

AKTION Fliesen & Pflasterplatten Ausstellungsstücke,
Aktionspreise für viele Fliesen & Pflasterplatten
wie Waschtisch-Unterschränke, Hochschränke, Waschbecken, Spiegel, usw. teilweise über 50 % reduziert
Alle
Mitnahmepreis 539,00 € Lieferung/Montage Büchlberger Str. 46 94051 Hauzenberg Ab sofort bietet Garemo und Hydropool eine Finanzierungsmöglichkeit über easyCredit an. www.naturstein-kneidinger.de | www.hydropools.de | www.trison-gmbh.de | www.garemo.de

Veranstaltungen Oktober

Freitag 06. Oktober

Heimat- und Volkstrac H tenV erein d 'freudenseer e.V. Vereinsabend

20:00 Uhr | Trachtensaal Raßreuth

Sonntag 08. Oktober

freistaat bayern Landtagswahen

Von 08:00 bis 18:00 Uhr sind die Wahllokale geöffnet

Dienstag 10. Oktober

s enioren H eim s t. Josef Second-Hand-Laden

09:00 – 13:00 Uhr | Seniorenheim St. Josef

a kti V club H auzenberg Handarbeitsgruppe

14:00 Uhr | Pfarrsaal St. Vitus

Tanz mit – bleib Fit, Seniorentanz

14:30 + 16:30 Uhr | Pfarrsaal St. Vitus In Zusammenarbeit mit der vhs, Unkostenbeitrag: 3,00 €, Leitung: Irmgard Watzinger, Tel. 08586 5687

k reis J ugendring Kleidertausch-Party

16:00 Uhr | Jugendtreff Brennpunkt

1 Woche vor Termin kann Kleidung (Kinder, Jugendliche, Erwachsene) in den Jugendtreff gebracht werden. Auch für Leute, die nichts zu tauschen haben.

Freitag 13. Oktober

stadtbüc H erei H auzenberg Vorlesestunde für Kinder

16:00 Uhr | Stadtbücherei Hauzenberg Lustige und interessante Geschichten mit Peter Weska

Samstag 14. Oktober

k nappenc H or k ropfmü H l

Hoagarten

19:30 Uhr | Zechensaal Kropfmühl mit der Hoaberg Musi, den Meraner Sängerinnen, Anna & Franzi und den Michaeli-Sängern

Reservierungen täglich ab 18:00 Uhr unter Tel. 08586 3112

Sonntag 15. Oktober

s tadt Hauzenberg & k leinstadtliebe Verkaufsoffener Sonntag

12:00 – 17:00 Uhr | Innenstadt

siehe auch Seite 18 und 19 hier im ui

Donnerstag und Freitag

19. und 20. Oktober

AUSBILDUNGSMESSE HAUZENBERG 2023

GRANITSTARKE JOBS in und um Hauzenberg

s tadt Hauzenberg Ausbildungsmesse Hauzenberg

Do. 12:00 – 16:00 Uhr

Fr. 08:30 – 17:00 Uhr

Dreifachturnhalle Hauzenberg

siehe auch ab Seite 8 hier im ui

Samstag 21. Oktober

f reiwillige f euerwe H r H aag

Traditionelles Weinfest

ab 14:00 Uhr | Gerätehaus Haag

Kaffee & Kuchen, abends Zeltdisco

22 ui | Veranstaltungen

Sonntag

22. Oktober

Samstag 28. Oktober

s tadt Hauzenberg

Solitaire

19:00 Uhr | Adalbert-Stifter-Halle

Konzert zum Andenken an die Gründerväter der Kulturwochen Hauzenberg, Eintritt frei!

Nähere Infos siehe Seite 24

jeden Donnerstag

Jo H annis V erein

Vereinsabend | 18:00 Uhr

05.10. Stemplinger Hansl

12.10. Zum Charly

19.10. Landgasthof Gidibauer

26.10. Brauliebe Hirz

02.11. Musikcafé Intermezzo

Puppentheater

„Kasperl und der kleine Drache“

16:00 Uhr | Adalbert-Stifter-Halle

Montag

23. Oktober

jeden Dienstag

Wochenmarkt Hauzenberg

8:00 – 12:00 Uhr

ncstreetsart

Ausstellung

Ort: Notariat Röhl, Hauzenberg

Öffnungszeiten: zu den Geschäftszeiten

Austellungsdauer: 23.10. – 01.12.2023

Künstler: Nadine & Johannes Nathanael Straßer

Dienstag 24. Oktober

a kti V club H auzenberg

Handarbeitsgruppe

14:00 Uhr | Pfarrsaal St. Vitus

Tanz mit – bleib Fit, Seniorentanz

14:30 + 16:30 Uhr | Pfarrsaal St. Vitus

In Zusammenarbeit mit der vhs, Unkostenbeitrag: 3,00 €, Leitung: Irmgard Watzinger Tel. 08586 5687

Wallfahrt nach Altötting

08:00 Uhr | Abfahrt Busbahnhof Hzbg. Anmeldung über das Pfarrbüro möglich

Innenstadt Hauzenberg

jeden Dienstag

s enioren H eim s t. Josef Second-Hand-Laden für Jedermann/-frau

09–13:00 Uhr | Seniorenheim Kleiderspenden für Erwachsene sind jederzeit erwünscht, Abgabe tagsüber an der Rezeption im Seniorenheim.

jeden Mittwoch

stadt H auzenberg Mittwochs-Wanderer

13:00 Uhr | Bürgerpark

Gemeinsames Wandern rund um Hauzenberg. Führung: Elisabeth Schopper und Loni Meisinger. Infos unter Tel. 08586/3153

jeden Donnerstag

stadt Hauzenberg g esunde g emeinde

Fitness am Freudensee

17:30 Uhr | Treffpunkt Parkplatz

Freudensee

mit Adelheid Werner, ausgebildete Sport- und Gesundheitstrainerin

jeden Donnerstag

s eniorenbeirat Hauzenberg Internettreff von Senioren für Senioren

14:00 Uhr | Rathaus, Kaiserareal Teilnahme auch online von zu Hause aus möglich. Computer kennenlernen; Datenverwaltung; im Internet surfen; E-Mails schreiben, versenden und empfangen; Anmeldung: 08586-2072 oder per E-Mail an fx.sommer@web.de;

Unkostenbeitrag: 2,00 € / Tag, Leiter: Franz Sommer

jeden Freitag

wanderfreunde Hauzenberg Freitagswanderung

14:00 Uhr | ab Bürgerpark

23 ui | Oktober 2023
s tadt Hauzenberg

Es

24 www.hauzenberg.de Solitaire & 28. Oktober 2023 Samstag Eintritt frei Werke von Haydn Rossini Liszt Schumann Brahms Zemlinsky und anderen Das neue Programm „Solitaire“ ist auch auf CD erhältlich Zum Reinhören 19:00 Uhr Adalbert-Stifter-Halle Konzert zum Andenken an die Gründerväter der Kulturwochen Hauzenberg Hans Rutzhofer Bürgermeister Josef Greschniok Wolfgang Kummer
spielen Johannes Fleischmann, violine Enkelsohn von Hans Rutzhofer Christoph Ulrich Meier, klavier

Am Samstag, den 28. Oktober um 19 Uhr findet in der Adalbert-Stifter-Halle in Hauzenberg ein Konzert zum Andenken an die Gründerväter der Kulturwochen Hauzenberg statt.

Hans Rutzhofer, Bürgermeister Josef Greschniok und Wolfgang Kummer haben mit ihrer Vision, Kunst abseits von den bekannten Kulturzentren möglichst niederschwellig anzubieten, eine Pionierleistung erbracht, deren Strahlkraft über 50 Jahre bis in unsere Zeit erhalten ist.

Interpreten dieses Gedenk-Konzertes sind der Geiger Johannes Fleischmann und der Pianist und Dirigent Christoph Ulrich Meier.

Johannes Fleischmann, der Enkelsohn von Hans Rutzhofer hat, geprägt von der Musikalität des Großvaters und seiner Eltern an der Universität für Musik und darstellende Kunst in Wien Violine studiert und kann auf eine erfolgreiche, internationale Karriere verweisen. Auf sein Solodebut im Wiener Konzerthaus folgten zahlreiche internationale Tourneen sowie die Ernennung zum Kulturbotschafter durch das österreichische Außenministerium. Sein 2021 erschienenes Album „EXODUS“ mit Werken der Komponisten Erich Wolfgang Korngold und Erich Zeisl wurde für den Preis der Deutschen Schallplattenkritik 2021 und zuletzt für „International Classical Music Award 2022 (ICMA)“ nominiert. Er unterrichtet an der Universität für Musik und darstellenden Kunst in Wien (mdw) Violine und ist Gründer und künstlerischer Leiter der „Althofener Meisterklassen“ in Kärnten. Er spielt auf einer Geige von Stephan Baehr, Paris anno 2016. (www.johannesfleischmann.at)

Christoph Ulrich Meier ist Supervisor der Bayreuther Festspiele. Seit 2010 hat er eine Professur für Musikalische Interpretation an der mdw. Auftritte als Dirigent und Pianist führten ihn u.a. in den Musikverein Wien, die Berliner Philharmonie, die Felsenreitschule Salzburg und die Suntory Hall, Tokyo.

Die beiden Künstler werden Werke von Haydn, Rossini, Liszt, Schumann, Brahms und Zemlinsky interpretieren.

Bei freiem Eintritt sind alle Musikliebhaber und Musikliebhaberinnen herzlich eingeladen.

Hirten Stund

Dieses Jahr bei der Granitweihnacht im Granitzentrum

Seit vielen Jahren begleiten uns die Hirtenstunden durch den Advent und wecken in uns mit leisen Tönen und stimmungsvollen Liedern die Vorfreude auf Weihnachten.

In diesem Jahr ziehen die Hirten-(stunden) weiter in eine neue Heimat, in das Granitzentrum. Dort erwarten sie die Besucher der Granitweihnacht an den ersten drei Adventswochenenden, täglich von Donnerstag – Sonntag, jeweils ab 17 Uhr zu einer musikalisch, besinnlichen Stunde.

Dazu bitten wir alle Sänger, Chöre und Musiker herzlich, uns zu unterstützen, dass diese Stunden zu ganz besonderen Stunden werden, zu Hirtenstunden voller Musik.

Ihre Ansprechpartnerin:

Stadt Hauzenberg

Centa Allmannsberger

E-Mail: granitweihnacht@hauzenberg.de

Telefon: 08586-3031

Hirtenstunden im Granitzentrum

Do – So an den ersten drei Adventswochenenden, jeweils ab 17.00 Uhr

ui | Stadt
Hauzenberg

z Kreu

landwirtschaftliches Gerät

heißes Rumgetränk

ausgedehntes Gastmahl

dt. Mundartdichter (Fritz)

römischer Sonnengott Kniegeige Behauptung, Leitsatz

deutsches Model: ... Klum

österr. Bad im Salzkammergut

Spiel-, Wettkampfklasse

die erste Frau (A. T.)

Gefolgs-, Lehnsmann

Strom in Ostasien junges Rind Skitorlauf

KfzZeichen Cham nagender Kummer

Begeisterung, Verzückung

Aufsehen, Skandal

Walzmetall

poetisch: Löwe ganz, vollständig kringelig (Haar)

einge-

dickter Fruchtsaft

Null beim Roulette

Halbton über c (Musik)

Geldinstitut

Abschnitt der Woche

altrömische Monatstage

Lösungswort

elektr. geladenes Teilchen

Schuhformer, Schuhspanner

enges, steilwandiges Tal

effektiv, nutzbringend Böses, Unangenehmes

w

Augenflüssigkeit Fabrik

ugs.: erschöpft, übermüdet

innerasiatisches Gebirge

Meeresvogel Ruhepause

einfarbig (französisch) Gebirgsmulde

schneller Lauf Lachsfisch

4 8 9 10

Teigwaren (italienisch)

Mostert, Mostrich Hafenstadt in Jemen

Bratenbeigabe, Soße

Opernsängerin (Netrebko)

Organ des Harnsystems

salopp: Feier, Party

2

Altersruhegeld

Tapferkeit begeisterter Anhänger (engl.)

1 5 3 7 2 6 4 8 9 10

chem. Zeichen für Tantal

ort

26 ui | Rätsel & Unterhaltung
1
5 3 7 6

Auflösung aus 217/09.2023

Kreuzworträtsel: WALDFRUECHTE

Sudoku: 232 379 475

Das Pilz-Buch aus unserer letzten Ausgabe ging nach Penzenstadl an Edith Penzenstadler.

Wir gratulieren und wünschen viel Glück beim Schwammerlsuchen und guten Appetit bei den vielen leckeren Rezepten aus dem Buch!

k u

Gewinn erin ung

Einsend

Breakfast in Hauzenberg

wir laden Sie am Sonntag, den 22. Oktober zum Brunch ein und verlosen jeweils einen Gutschein für 2 Personen beim Stemplinger Hansl, bei Kai's und und in die Piazza (siehe Anzeige Amtsblatt Seite 118). So kann der Sonntag beginnen.

Gewi nn

Ihrer Lösung

Schicken Sie mindestens eine Lösung der Rätselseite bis Mittwoch, 18.10.2023 mit Telefonnummer per Post an die ui-Redaktion oder per E-Mail an redaktion@ui-hauzenberg.de. Der Rechtsweg ist ausgeschlossen.

Bayerwaldstr. 10 94051 Hauzenberg Tel. 08586 9792616 Di. – Fr.: 11.00 – 13.30 Uhr und 17.00 – 22.00 Uhr Montag und Sonntag Ruhetag Italienisches Buffet Halloween Buffet Italienischer Mittwoch, 18. Oktober ab 17:30 Uhr Dienstag, 31. Oktober ab 17:30 Uhr Sonntag, 22. Oktober von 09:00 – 14:00 Uhr 22,90 € pro Person 22,90 € pro Person rechtzeitig. Brunch reservieren Sie 7 9 5 8 5 9 6 1 4 8 6 2 8 1 8 6 3 6 9 4 1 4 8 2 3 8 6 5 5 7 9

27 ui | Rätsel & Unterhaltung
sel Lösung
Su do Rät

Die Abenteuer und Entdeckungen des Maxi Scher

DerDrachenflug

Was für ein wunderbarer Morgen. Die Herbstsonne ließ die Wiesen und Wälder rings um Maxis Hügelwohnung in den wärmsten Farben leuchten und es war, als flüsterte ein kleiner kühler Windhauch Maxi ein „Guten Morgen, kleiner Maulwurf“ ins Ohr. „Guten Morgen, lieber Herbstwind, auch schon wach?“ murmelte Maxi verschlafen und reckte und streckte sich in der Morgensonne. Dann setzte er sich auf seinen Hügel, genoss die Ruhe des Morgens und das Streicheln des Windes um seinen Kopf. Beinahe wäre er wieder eingeschlafen, hätte ihn da nicht ein „Hallo Maxi, Haalloooh!“, das immer näher kam, aufgeschreckt.

28
ui | Kinderseite
Gezeichnet: Albert Lehner | Erzählt: Manfred Sommer

Es war sein Freund Bärtl, der mit etwas Buntem in der einen Pfote und aufgeregt mit der anderen winkend, auf ihn zurannte. Völlig außer Atem streckte der Bär Maxi das bunte Papierteil entgegen und pustete erschöpft ein „Schauhhh Maxi ... hhhh ... ihhhch hhhabe eihhhnen Drahhhchen gehhbahhhhstelt!“ „Einen Drachen?“, fragte Maxi erstaunt. „Ja, einen Papierdrachen!", antwortete der jetzt wieder zur Ruhe und Luft gekommene Bärtl stolz. „Und den lassen wir heute, wenn der Herbstwind noch zunimmt, steigen.“ „Huiiih!“, schien der Wind diesem Vorhaben freudig zuzustimmen, denn tatsächlich frischte er augenblicklich kräftig auf.

Ein kurzer Lauf gegen den Wind und schon ist Bärtls Drachen hoch oben in der Luft. Stolz sitzt er nun im Gras und begleitet, mit einem Reim aus Kindertagen begeistert und fröhlich die Pirouetten seines bunten Flugobjektes: „Lustig schaukelt er im Tanz, ebenso sein langer Schwanz – und nun elegant im Bogen, einen Kreis nach rechts gezogen!“. „Whauu!“ Maxi steht bewundernd neben seinem bärigen Freund und ist, was bei ihm äußerst selten vorkommt und völlig ungewöhnlich ist, sprachlos. Zumindest für eine kleine Weile, denn schon meldet er sich mit der Frage : „Darf ich bitte auch einmal den Drachen fliegen lassen?“, seine Abenteuer- und Entdeckerlust zurück. „Aber natürlich mein Freund“, antwortet Bärtl und reicht die Drachenschnur zu Maxi. Vorsichtig nimmt der die Leine auf, als plötzlich ein heftiger Windstoß den Drachen samt Maxi nach oben zieht. „Hilfeee!“, Maxi klammert sich mit aller Kraft an der Schnur fest, während der Drachen langsam und unaufhörlich in die Höhe steigt. Maxi wäre wohl auf Nimmerwiedersehen in den Wolken verschwunden, aber Bärtl reagiert blitzschnell, springt auf und erwischt gerade noch Maxis rechtes Bein, hält ihn fest und zieht den leichtgewichtigen Drachenflieger wieder langsam zurück auf den Boden.

Da sitzen sie nun: Maxi, der immer noch starr vor Schreck den Drachen festhält und Bärtl, der den Freund umklammert, damit der nicht wegfliegt. „Du bist wohl eine Nummer zu klein für meinen großen Drachen“ resümiert Bärtl nach der geglückten Rettungsaktion erleichtert. „Ja!“ antwortet der kleine Maulwurf mit zittriger Stimme. „Da gibt es nur zwei Möglichkeiten mein Freund, entweder, ich binde Dir eine Schnur um den Bauch und lasse Dich zusammen mit dem Drachen steigen“ erklärt Bärtl schmunzelnd. „Oder?“ fragt Maxi ängstlich nach der zweiten Möglichkeit. „Oder, wir basteln Dir einen kleineren, für Dich passenden Drachen!“. „Oh, das wäre schön, das machen wir!“ antwortet Maxi erleichtert ob dieser zweiten Möglichkeit und froh, dass er so einen guten und starken Freund hat. „Dann laß uns gleich damit anfangen, denn Drachen steigen lassen zu zweit, mit zwei Drachen ist es zweimal so schön!“ lacht Bärtl, holte seinen Drachen vom Himmel und beide machen sich auf den Weg zu Bärtls Höhle, um einen wunderschönen, kleinen Maxi-Drachen zu basteln.

29 ui | Maxi Scher

Die Vorvermarktung für den Ausbau für ca. 2.500 Haushalte in Hauzenberg hat bereits begonnen!

Besuchen Sie unseren Glasfaser-Truck in Hauzenberg und lassen Sie sich vor Ort zu Glasfaser beraten!

Weitere Informationen erhalten Sie am 25.10.2023 um 19:00 Uhr bei unserer Informationsveranstaltung im Gasthaus Gottinger; Am Rathaus 5, Hauzenberg

Schnell – Stabil – Zukunft SS icher

Der neue Maßstab für digitales Leben und Arbeiten ist Glasfaser. Jederzeit mit Familie und Freunden im Netz verbunden sein, ist heute so selbstverständlich wie nie zuvor. Die Datenmengen steigen und damit auch der Bedarf an leistungsstarken Internet-Verbindungen. Ein Glasfaser-Anschluss gewährleistet dafür die beste Qualität und Stabilität.

Jet Z t noch Gla S fa S er- h au S an S chlu SS bi S Z um

31.12.2023 ko S tenlo S be S tellen

Die Vorvermarktung hat bereits begonnen!

Damit möglichst ALLE im Ausbaugebiet beim aktuellen Ausbau berücksichtigt werden, haben die Bürger:innen in Hauzenberg jetzt noch die Chance, einen Glasfaseranschluss über die Telekom zu beauftragen. Das Beste daran ist: Wer sich im Ausbaugebiet in Hauzenberg bis zum 31.12.2023 für einen Glasfaseranschluss entscheidet, spart die einmaligen Anschlusskosten in Höhe von 799,95€.

Wichtig zu wissen: Sowohl Hauseigentümer:innen, Verwalter*innen und auch Mieter:innen können den Anstoß für den Glasfaser-Anschluss geben. Die Telekom kümmert sich dann in Abstimmung mit den Kund:innen um die weiteren Schritte, damit der Anschluss reibungslos klappt. Das Verlegen der Glasfaser zum Haus ist in der Regel innerhalb eines Tages erledigt

Mehr Informationen zur Buchbarkeit und zu den Tarifen der Telekom erhalten Sie:

 im Internet unter www.telekom.de/glasfaser

 in folgendem Telekom/Partner-Shop:

Telekom Partner Telkommunikation Sommer, Poststr.5, 94051 Hauzenberg

Telekom Partner K + B E-Tech, Jandelsbrunner Str.41, 94065 Waldkirchen

Telekom Partner Handy No.1, Marktplatz 14, 94107 Untergriesbach

Schnelles Netz für Hauzenberg

 telefonisch kostenlos unter 0800 22 66100 (Privatkunden) und 0800 330 6709 (Geschäftskunden)

 vor Ort

Wir kommen nach Hauzenberg. Vom 30.10.2023 bis 04.11.2023 (01.11.2023 Feiertag) sind wir mit unserem Telekom Truck vor Ort. Wo: erfahren Sie demnächst unter www.telekom.de/glasfaser

Wann: Montag und Dienstag + Donnerstag – Samstag jeweils von 10:00 – 18:00 Uhr

Kommen Sie vorbei und lassen sich beraten! Wir freuen uns auf Ihren Besuch!

 Infoveranstaltung in Hauzenberg

Ausbaukarte:

ui | Telekom – Glasfaser 30
Hauzenberg

DasAmtsblatt

der Stadt Hauzenberg und des Schulverbandes Hauzenberg Jahrgang 50.09 4. Oktober 2023 111 Standesamt Amtliche Bekanntmachungen 112 Erweiterung des Bebauungsplanes „SO Baumarkt Hauzenberg West“ 112 Änderung des Bebauungsplans „GE Jahrdorf“ mit Deckblatt Nr. 1 113 Klageverfahren zur rechtsaufsichtlichen Ersatzvornahme im Verfahren zur Aufstellung der Außenbereichssatzung Guppenberg 114 Änderung des Bebauungsplanes WA-Schröck Erweiterung II 114 Vollzug der Wassergesetze 115 Rechtsverordnung zur Freigabe verkaufsoffener Sonn- und Feiertage Informationen aus dem Sitzungsdienst 116 Stadtrat, Sitzung vom 18.09.2023 116 Bauausschuss, Sitzung vom 19.09.2023 Informationen 117 Antragsfristen für Sitzungen 117 Schließtage des Rathauses 117 Bürgerversammlungen 2023 118 Rathaus setzt auf eigene Ausbildung 119 Neu: Schadensmelder in der App 119 Nächster Rentensprechtag 119 Zeitumstellung 119 Kasperltheater 119 Privatmarkt 120 vhs Hauzenberg – Kurse Oktober 121 Adressen & Öffnungszeiten

Geburten

02.08.2023

Josef Max Kern

Anna und Florian Kern

Waldkirchener Str. 6, Hauzenberg

13.08.2023

Horst Schopper

Eben 37, Hauzenberg

66 Jahre

19.09.2023

Alois Kümmeringer

Pisling 3, Hauzenberg

88 Jahre

h I nwe I s

23.08.2023

Felix Schwarz

Angelina und Tobias Schwarz

Berbing 31 A, Hauzenberg

23.08.2023

Friedrich Pilsl

Grub 15, Hauzenberg

91 Jahre

30.08.2023

Anna Marie Harant

Petra und Marco Harant

Heribert-Stephan-Straße 4, Hauzenberg

02.09.2023

Robert Schaffer

Thyrnauer Straße 25, Hauzenberg

76 Jahre

11.09.2023

Rosa Schwaiberger

Fliederstraße 3, Hauzenberg

59 Jahre

Alle Eheschließungen, Geburten und Sterbefälle von Hauzenberger Bürgern können hier nur noch mit einer schriftlichen Einverständniserklärung veröffentlicht werden. Weitere Informationen erhalten Sie im Bürgerbüro der Stadtverwaltung Hauzenberg, Marktplatz 10, 94051 Hauzenberg, Telefon: 08586/3062.

Passauer Erbrechtstage 2023

Erben und Vererben – den Nachlass richtig regeln

Möchten Sie grundsätzliche Gestaltungsmöglichkeiten zum Thema Erben und Vererben kennenlernen? Bei den Erbrechtstagen der Sparkasse Passau finden Sie die passenden Antworten! Informieren Sie sich in interessanten Vortrags- und Diskussionsrunden.

VORTRAGSTERMINE:

Testamente für jede Lebenslage (Patchwork-) Familien/ Alleinstehende, Geschiedene, Pflichtteilsberechtigte …)

Mittwoch 18.10.2023, 18 Uhr

Geschäftsstelle Bad Griesbach, Stadtplatz 8

Notarin Dr. Claudia Mair-Trinkgeld

Vorsorgevollmacht, Betreuungs- und Patientenverfügung für Unternehmer und Privatpersonen

Donnerstag 19.10.2023, 18 Uhr

Beratungszentrum Vilshofen, Stadtplatz 30

Notare Eliane u. Christian Schuller

Häufige Fehler im Testament – Beispiele aus der Praxis

Montag 23.10.2023, 18 Uhr

Beratungszentrum Tittling, Marktplatz 4

Notare Silvia Paulöhrl u. Jan-Frederic Worring

Immobilien schenken und vererben – zivilrechtliche und steuerliche Fallstricke

Donnerstag 26.10.2023, 18 Uhr

Beratungszentrum Hauzenberg, Am Rathaus 7

Notar Dr. Christoph Röhl, Steuerberaterin Anna Granat Behindertentestament – Rechtliche Vorsorge für Eltern von Kindern mit Handicap

Dienstag 14.11.2023, 10 Uhr

Sparkasse Passau, Nikolastraße 1

Lebenshilfe Passau e.V., Rechtsanwälte Annette Heindörfer und Alban Westenberger Geerbt, was nun?

Mittwoch 15.11.2023, 18 Uhr

Sparkasse Passau, Nikolastraße 1

Notare Dr. Stefan Bandel und Michael Pich

Eintritt frei! Begrenztes Platzangebot Anmeldung erforderlich Anmeldung bis spätestens eine Woche vor der jeweiligen Veranstaltung unter

www.sparkasse-passau.de/erbrechtstage

111 Amtsblatt | 50.09 Standesamt
wir
trauern

e rwe I terung des Be B auungsplanes

„ s O Baumarkt h auzen B erg w est“;

hier: Frühzeitige Beteiligung der Öffentlichkeit nach § 3 Abs. 1 BauGB

Die Unterrichtung über die allgemeinen Ziele dieser Planung erfolgt ab Erscheinen des Oktober-Amtsblattes in der Zeit bis 10.11.2023. Der Entwurf des Deckblattes zum Bebauungsplan kann bis zu diesem Tage im Rathaus Hauzenberg, Marktplatz 10, Bauamt, 94051 Hauzeberg, während der üblichen Dienststunden eingesehen werden. Während dieser Zeit können Anregungen, Bedenken und Einwendungen vorgebracht werden. Auf Wunsch wird die Planung erläutert.

Datenschutz:

Der Stadtrat der Stadt Hauzenberg hat am 04.07.2022 beschlossen, den Bebauungsplan „SO Baumarkt Hauzenberg West“ zu erweitern. Die Änderung erfolgt mit Deckblatt Nr. 1. Die Öffentlichkeit ist nach § 3 Abs. 1 Satz 1 BauGB frühzeitig zu beteiligen.

Vorgesehen ist die Erweiterung des jetzigen Baumarktes „Am Wiesenrain 1“ Richtung Norden auf das Grundstück Flur-Nr. 590/3 Gemarkung Wotzdorf. Hier soll der Bereich Baustoffe erweitert werden mit einer Betriebsfläche und entsprechender Gebäudegestaltung, um den Betrieb gegenüber der Nachbarschaft zusätzlich abzuschirmen.

Allrad, der bezahlbar ist.

Macht Sinn, macht Laune.

S-Cross ab 32.640 EUR1 | Vitara ab 28.900 Euro2

Kompetente Technik, kompakte Dimensionen, typisch Suzuki – Vitara Hybrid und S-Cross Hybrid mit optionalem ALLGRIP SELECT Allradantrieb machen auf jedem Terrain eine gute Figur und bleiben kostenmäßig doch im Rahmen. Ihr Suzuki Partner berät Sie gerne.

Die Verarbeitung personenbezogener Daten erfolgt auf der Grundlage der Art. 6 Abs. 1 Buchstabe e (DSGVO) i.V.m § 3 BauGB und dem BayDSG. Sofern Sie Ihre Stellungnahme ohne Absenderangaben abgeben, erhalten Sie keine Mitteilung über das Ergebnis der Prüfung. Weitere Informationen entnehmen Sie bitte dem Formblatt „Datenschutzrechtliche Informationspflichten im Bauleitplanverfahren“, das ebenfalls öffentlich ausliegt.

Stadt Hauzenberg, 15.09.2023 Gudrun Donaubauer, 1. Bürgermeisterin

Änderung des Be B auungsplans „ ge Jahrd O rf“ m I t d eck B latt n r. 1 hier: Öffentliche Auslegung nach § 3 Abs. 2 BauGB

Der Stadtrat der Stadt Hauzenberg hat am 04.07.2022 beschlossen, den Bebauungsplan „GE Jahrdorf“ zu ändern. Die Änderung erfolgt mit Deckblatt Nr. 1.

Kraftstoffverbrauch Suzuki S-Cross 1.4

BOOSTERJET HYBRID ALLGRIP Comfort (95 kW | 129 PS | 6-Gang-Schaltgetriebe | Hubraum 1.373 ccm | Kraftstoffart Benzin): innerstädtisch (langsam) 6,7 l/100 km, Stadtrand (mittel) 5,3 l/100 km, Landstraße (schnell) 5,2 l/100 km, Autobahn (sehr schnell) 6,4 l/100 km, Kraftstoffverbrauch kombiniert 5,8 l/100 km;

CO2 Emissionen kombiniert 132 g/km.

Kraftstoffverbrauch Suzuki Vitara 1.4

BOOSTERJET HYBRID ALLGRIP Comfort (95 kW / 129 PS | 6-Gang-Schaltgetriebe | Hubraum 1.373 ccm / Kraftstoffart Benzin): innerstädtisch (langsam) 6, 7 l/100 km, Stadtrand (mittel) 5,3 l/100 km, Landstraße (schnell) 5,1 l/100 km, Autobahn (sehr schnell) 6,5 l/100 km, Kraftstoffverbrauch kombiniert 5,8 l/100 km;

CO2 Emissionen kombiniert 132 g/km.

1 Endpreis für einen Suzuki S-Cross 1.4

BOOSTERJET HYBRID ALLGRIP Comfort.

2 Endpreis für einen Suzuki Vitara 1.4 BOOSTERJET HYBRID ALLGRIP Comfort.

Der Geltungsbereich des Bebauungsplans entlang der Kreisstraße PA40 weist im Westen eine Ausgleichsfläche als Streuobstwiese aus, im Norden eine Ortsrandeingrünung. Mit der Änderung soll insbesondere die Grünordnung überplant und anschließend auch umgesetzt werden, außerdem ist eine zusätzliche Zufahrt zur Kreisstraße geplant.

Nach Durchführung der frühzeitigen Unterrichtung der Öffentlichkeit und Beteiligung der Behörden und Sonstigen Trägern Öffentlicher Belange billigte der Bauausschuss am 16.08.2023 das Deckblatt Nr. 1 zum Bebauungsplan „GE Jahrdorf“ nach Bewertung der eingegange -

Die Umstellung auf das neue WLTP-Messverfahren macht eine Änderung der derzeit gültigen gesetzlichen Bestimmungen zu Verbraucherinformationen zu Kraftstoffverbrauch, CO2-Emissionen und Stromverbrauch neuer Personenkraftwagen (Pkw-EnVKV) erforderlich.

Die Novellierung der Pkw-EnVKV ist bislang noch nicht erfolgt. Da NEFZ-Werte für dieses Fahrzeug nicht vorliegen, haben wir die auf Basis des neuen WLTP-Testzyklus gemessenen Kraftstoffverbrauchs- und CO2-Emissionswerte als WLTP-Werte angegeben. Wegen der realistischeren Prüfbedingungen sind die nach dem WLTP gemessenen Kraftstoffverbrauchs- und CO2-Emissionswerte in vielen Fällen höher als die nach dem NEFZ gemessenen.

Korrelierte NEFZ-Werte, ermittelt auf Basis des Prüfverfahrens .WLTP“. Weitere Informationen unter www.auto.suzuki.de/wltp.

94051 Hauzenberg

Telefon 0 85 86/22 22

e-Mail: az@autohaus-amsl.de

www.autohaus-amsl.de

112 Amtsblatt
| 50.09 Amtliche Bekanntmachungen
Kronreuth 2

nen Stellungnahmen und Einwendungen und beschloss die Öffentliche Auslegung nach § 3 Abs. 2 BauGB mit Beteiligung der Träger Öffentlicher Belange nach § 4 Abs. 2 BauGB unter Berücksichtigung der vorgeschlagenen Anpassungen.

Der Entwurf des Bebauungsplanes liegt gemäß § 3 Abs. 2 BauGB ab 12.10.2023 für die Dauer eines Monats bis einschl. 17.11.2023 im Bauamt der Stadt Hauzenberg, Marktplatz 10, 94051 Hauzenberg, während der üblichen Öffnungszeiten des Rathauses zur allgemeinen Einsichtnahme aus. Mit Erscheinen des Amtsblattes wird auf diese Auslegung hingewiesen. Während dieser Zeit der Auslegung können Anregungen, Hinweise und Einwendungen schriftlich geltend gemacht werden.

Ergänzend werden die Verfahrensunterlagen während der Auslegungsfrist nach § 4a Abs. 4 BauGB auch auf der Homepage der Stadt Hauzenberg „www.hauzenberg.de“ in der Rubrik „Planen und Bauen / Bauleitplanung“ zur Einsichtnahme bereitgestellt.

Nicht fristgerecht abgegebene Stellungnahmen können bei der Beschlussfassung über die Änderung des Bebauungsplanes unberücksichtigt bleiben, wenn die Stadt den Inhalt nicht kannte und nicht hätte kennen müssen und deren Inhalt für die Rechtmäßigkeit des Bebauungsplanes nicht von Bedeutung ist.

Datenschutz:

Die Verarbeitung personenbezogener Daten erfolgt auf der Grundlage der Art. 6 Abs. 1 Buchstabe e (DSGVO) i.V.m § 3 BauGB und dem BayDSG. Sofern Sie Ihre

Stellungnahme ohne Absenderangaben abgeben, erhalten Sie keine Mitteilung über das Ergebnis der Prüfung. Weitere Informationen entnehmen Sie bitte dem Formblatt „Datenschutzrechtliche Informationspflichten im Bauleitplanverfahren“, das ebenfalls öffentlich ausliegt.

Stadt Hauzenberg, 19.09.2023

Gudrun Donaubauer, 1. Bürgermeisterin

k lageverfahren zur rechtsaufs I chtl I chen e rsatzv O rnahme I m v erfahren zur a ufstellung der a ussen B ere I chssatzung g uppen B erg; Bestandskraft der Ersatzvornahme sowie damit einhergehende Verfahrenseinstellung

Der Stadtrat hat am 06.05.2019 beschlossen, für den Bereich Guppenberg eine Außenbereichssatzung nach § 35 Abs. 6 BauGB zu erlassen.

Nach durchgeführtem Bauleitverfahren wurde der Satzungsbeschluss zur Außenbereichssatzung durch den Bauausschuss am 18.05.2020 gefasst.

Im Rahmen des daraufhin durchgeführten Beanstandungsverfahrens hatte der Bauausschuss am 16.06.2020 die Aufstellung der Außenbereichssatzung bestätigt.

Das Landratsamt Passau, Kommunale Angelegenheiten, hatte daraufhin im Rahmen dieses Verfahrens dem Bauausschuss nochmals Gelegenheit gegeben den Beschluss zum Erlass der Außenbe -

reichssatzung Guppenberg aufzuheben und das Verfahren einzustellen. Der Bauausschuss hatte jedoch mit Beschluss vom 15.02.2021 die Außenbereichssatzung Guppenberg nicht aufgehoben. Daraufhin wurde seitens des Landratsamtes Passau mit Bescheid vom 14.06.2021 die Ersatzvornahme der Aufhebung der Außenbereichssatzung zunächst angedroht. Mit Bescheid vom 12.08.2021 abschließend im Verfahren zur Überprüfung der Rechtmäßigkeit der Beschlüsse zur Aufstellung der Beschlüsse zur Aufstellung der Außenbereichssatzung Guppenberg eine Ersatzvornahme gegenüber der Stadt Hauzenberg ausgesprochen und verbeschieden.

Mit Stadtratsbeschluss vom 12.09.2021 wurde seitens der Stadt Hauzenberg der Bescheid über die Androhung der Ersatzvornahme vom 14.06.2021 und der Bescheid über die Ersatzvornahme selbst vom 12.08.2021 angefochten und Klage beim Verwaltungsgericht Regensburg eingereicht.

Die vor dem Verwaltungsgericht Regensburg erhobene Klage gegen die rechtsaufsichtliche Beanstandung und gegen die Ersatzvornahme des Landratsamtes Passau wurde von Seiten der Stadt Hauzenberg mit Schreiben vom 18.07.2023 auf Grundlage des Stadtratsbeschlusses vom 10.07.2023 zurückgenommen. Das Klageverfahren wurde deshalb mit Beschluss des Verwaltungsgerichts Regensburg vom 21.07.2023, Az.: RN 2 K 21.1862 eingestellt.

Aufgrund der ergangenen Einstellungsverfügung des Verwaltungsgerichts

Jugendspartage vom 30. Oktober bis 3. November

Feiere gemeinsam mit der Sparkasse deinen Sparerfolg! Großer Malwettbewerb: Male unser Weltspartagsmaskottchen Eichhörnchen Elli und gewinne 1 von 10 Kinoboxen

Auf dich wartet das süße Eichhörnchen Elli!

113
50.09 Amtliche Bekanntmachungen
Amtsblatt |
Am 30. Oktober ist Weltspartag

Regensburg erlangt der Bescheid des Landratsamtes Passau über die Ersatzvornahme vom 12.08.2021 der nachfolgend aufgeführten Beschlüsse Bestandskraft.

Damit sind die Beschlüsse des Bauschusses der Stadt Hauzenberg

a) vom 18.05.2020 zum Tagesordnungspunkt 2.4 betreffend die Aufstellung der Außenbereichssatzung Guppenberg (Satzungsbeschluss),

b) vom 16.06.2020 zum Tagesordnungspunkt 3.5.2 betreffend die Bestätigung der Aufstellung der Außenbereichssatzung Guppenberg und

c) vom 15.02.2021 zum Tagesordnungspunkt 2.1 betreffend die Ablehnung den Beschluss zum Erlass der Außenbereichssatzung Guppenberg aufzuheben und das Verfahren einzustellen aufgehoben.

Das Verfahren zur Aufstellung einer Außenbereichssatzung in Guppenberg gilt somit als eingestellt.

Stadt Hauzenberg, 18.09.2023 Gudrun Donaubauer, 1. Bürgermeisterin

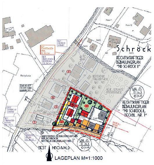
Änderung des Be B auungsplanes wa - s chröck

e rwe I terung II; hier: Bekanntmachung des Änderungsbeschlusses nach § 2 Abs. 1 BauGB

Der Stadtrat der Stadt Hauzenberg hat am 26.07.2023 beschlossen, den Bebauungsplan „WA-Schröck Erweiterung II“ zu ändern bzw. zu erweitern. Der Änderungsbeschluss wird gemäß § 2 Abs. 1 Satz 2 Baugesetzbuch (BauGB) ortsüblich bekannt gemacht.

Geltungsbereich:

Der Bebauungsplan „WA-Schröck Erweiterung II“ gilt für einen Teilbereich nördlich des Turnersteigs und ist seit 20.10.2004 in Kraft. Die letzte Änderung erfolgte im Jahr 2017.

Plan des Verfahrensgebietes:

cher Belange gesondert Gelegenheit gegeben Stellung zu nehmen.

Diese Bekanntmachung dient nur der Bekanntgabe des Änderungsbeschlusses und stellt keine Aufforderung zu Beteiligung dar.

Allgemeine Ziele und Zwecke der Planung:

Mit der vorgenannten Bauleitplanung sollen Erweiterungsmöglichkeiten des bestehenden Wohnhauses geschaffen werden und die Bauparzellen an die Grundstücksgrenzen angepasst werden.

Stadt Hauzenberg, 20.09.2023 Gudrun Donaubauer, 1. Bürgermeisterin

vO llzug der w assergesetze; Erlaubnis zum Einleiten von Niederschlagswasser aus dem Regenwasserkanal Erschließung Schröck I in den Staffelbach durch die Stadt Hauzenberg

Mit Bescheid vom 08.08.2023 erteilte das Landratsamt Passau die gehobene Erlaubnis für folgende Einleitung(en):

Verfahrensart:

Im Rahmen des nachfolgenden Verfahrens nach § 13 BauGB wird der Öffentlichkeit und auch den Trägern Öffentli -

Der Erlaubnisbescheid mit Rechtsbehelfsbelehrung sowie eine Fertigung der genehmigten Planunterlagen liegen gem. Art. 74 Abs. 4 Satz 2 des Bayer. Verwaltungsverfahrensgesetzes (BayVwVfG) i. V. m. Art. 69 Bayerisches Wassergesetz

Ihr Vitatherm Partner:

Brennstoffe Hans-Josef Stadler e.K. Bahnhofstr. 7, 94051 Hauzenberg www.brennstoffe-stadler.de 192x62_anz_vitatherm_stadler_pfingsten_0323_rz.indd

114 Amtsblatt | 50.09 Amtliche Bekanntmachungen Bestellhotline 08586/1260 EINE AUFWÄRMÜBUNG FÜRS SPAREN: Mit Vitatherm Premium Heizöl. PREMIUM HEIZÖL AUS BAYERN!
1 16.03.23 14:11
Bezeichnung der Einleitung Gemarkung Flur-Nr. Benutztes Gewässer WA Schröck I Raßreuth 831/8 Staffelbach

(BayWG) 2 Wochen

in der Zeit vom 10.10.2023 bis 23.10.2023

im Rathaus der Stadt Hauzenberg, Marktplatz 10, 94051 Hauzenberg während der Dienststunden zur allgemeinen Einsichtnahme aus. Nach Ablauf dieser Frist gilt der Bescheid auch gegenüber denjenigen Beteiligten als zugestellt, die im Verlauf des Verfahrens keine Einwendungen erhoben haben.

Stadt Hauzenberg, 18.09.2023 Gudrun Donaubauer, 1. Bürgermeisterin

rechtsver O rdnung

Zur Freigabe verkaufsoffener Sonnund Feiertage aus Anlass von Märkten in der Stadt Hauzenberg vom 18.09.2023

Aufgrund von § 14 Abs. 1 Satz 2 des Gesetzes über den Ladenschluss (LadschlG) in der Fassung der Bekanntmachung vom 04. Juni 2003

(BGBl I S. 745) in Verbindung mit § 6 Abs. 1 Nr. 3 der Verordnung über Zuständigkeiten auf dem Gebiet des Arbeitsschutzes, der Sicherheits technik, des Chemikalien- und Medizinproduktrechts (ASiMPV) vom 02. Dezember 1988 (GVBl. S . 956), zuletzt geändert durch Verordnung vom 01. April 2003 (GVBl. S. 278) erlässt die Stadt folgende Rechtsverordnung:

§ 1

Anlässlich von Märkten, Messen oder öffentlichen Veranstaltungen dürfen im Bereich der Stadt Hauzenberg alle Verkaufsstellen an folgenden Zeiten geöffnet sein:

15.10.2023

Herbstmarkt 12.00 – 17.00 Uhr

§ 2

Die Vorschriften zum Schutz der Arbeitnehmer (§ 17 LadSchlG), die Bestimmungen der Arbeitszeitverordnung, des Manteltarifvertrages für die Arbeitnehmer im

VERMÖGENSANLAGE WertSchutz Zertikat Plus

Beispielhafte Entwicklung zum Ende der Laufzeit des Zertikats:

Einmalbeitrag: 100.000 Euro

Versicherungsbeginn: 01.11.2023

Mögliche Ablaueistung bei 3,5 %* Wertentwicklung p.a.:

143.552 Euro

Garantierte Mindestleistung**:

136.230 Euro**

Wichtige Informationen zum WertSchutz Zertikat Plus:

- Laufzeit: 12 Jahre (Teilentnahmen möglich während der Fondsphase)

- Zeichnungsfrist: 21.10. bis 15.12.2023 vorbehaltlich noch vorhandenem Volumen.

- Die Zuteilung erfolgt in der zeitlichen Reihenfolge des elektronischen Antragseingangs.

- Anlagebetrag bereits ab 10.000 Euro möglich.

*) Unverbindliche Kapitalleistung bei einer unterstellten jährlich gleichbleibenden Wertentwicklung des Zertikats.

**) Es handelt sich um ein Buy and Hold Produkt. Der Emittent (Barclays Bank PLC) garantiert den Wert zum Ende der Laufzeit am 01.12.2035 gegenüber dem Versicherungsunternehmen (die garantierte Mindestleistung beträgt 143,4 % des Nennbetrags, dieser entspricht dem Einmalbeitrag abzüglich einmaliger Versicherungskosten zu Beginn). Bei vorzeitiger Kündigung wird das Zertikat zum aktuellen Tageskurs des Bankarbeitstages der Wirksamkeit der Kündigung bewertet. Für wichtige Offenlegungen und Haftungsausschlüsse besuchen Sie bitte den folgenden Link: www.indices.barclays/ vkbe12wertschutzzertkatplus

Einzelhandel, des Jugendarbeitsschutzgesetzes und des Mutterschutzgesetzes sind in der jeweils geltenden Fassung zu beachten.

§ 3

Bei der Offenhaltung einer Verkaufsstelle an Sonn- und Feiertagen außerhalb der in dem § 1 freigegebenen Öffnungszeiten kann eine Ordnungswidrigkeit im Sinne des § 24 LadSchlG vorliegen.

§ 4

Diese Rechtsverordnung tritt am Tage ihrer Bekanntmachung in Kraft.

Stadt Hauzenberg, den 18.09.2023 Gudrun Donaubauer, 1. Bürgermeisterin

e nde der a mtl I chen Bekanntmachungen

Versicherungsbüro Hauzenberg

Christian Mütze

Versicherungsspezialist für Privat - Landwirtschaft

Gewerbe – Kranken - Vorsorge und Schadenregulierung

Marktstr. 3, 94051 Hauzenberg

Tel.: (08586) 97 99 881

Mobil: (0170) 451 77 04

E-Mail: christian.muetze@vkb.de Raiffeisenbank

Goldener Steig - Dreisessel eG

115 Amtsblatt
Bekanntmachungen
| 50.09 Amtliche
Foto Dünnbier
Jetzt Beratungstermin vereinbaren
Bereit, mehr zu erfahren?

s tadtrat, sI tzung v O m 18.09.2023

Hochbehälter Duschlberg; Vorstellung der Planung

Das Ingenieurbüro Fesl & Bauer aus Hauzenberg stellte die Planung des neu zu entstehenden Hochbehälters ausführlich vor. Die Planung beinhaltet folgende Abschnitte und ist unterteilt in: Standort Hochbehälter inkl. Zufahrt / Baugrube, Erdarbeiten und Böschungssicherung / Baumeisterarbeiten / Technische Ausrüstung / Außenanlagen

Hochbehälter Duschlberg; Erneuerung der Quellzubringerleitungen; Vergabe BA 1 –einstimmig beschlossen

Die Erneuerung der Quellzubringerleitungen wurde im August öffentlich ausgeschrieben. Drei Firmen haben ein Angebot form- und fristgerecht abgegeben. Die Vergabe erfolgte an die Fa. Karl Bachl GmbH aus Röhrnbach mit der Angebotssumme von 1.330.066,81 € als wirtschaftlichsten Bieter.

Bauleitplanung zur Errichtung einer Freiflächenphotovoltaikanlage bei Kinatöd; Aufstellungs-/Änderungsbeschluss – Abstimmung 11 : 9 Für die FlNr. 1421, Gemarkung Germannsdorf liegt ein Antrag für eine Freiflächen-PV-Anlage mit einer Größe von 3 ha vor. Die Vorabbewertung der Bauverwaltung sieht diesen Antrag kritisch. Durch die bereits vorhanden PV-Anlagen und der daraus ergebenden Gesamtgröße wird die Größenbeschränkung deutlich überschritten. Ebenso ist die Einsehbarkeit aufgrund der örtlichen Topografie auch durch eine Eingrünung nicht kompensierbar. Es wurde beschlossen, für die Errichtung eines Solarparks in Kinatöd den Flächennutzungsplan nicht zu ändern und auch keinen Bebauungsplan aufzustellen.

Änderung des Bebauungsplanes

„Fürsetzing“; Änderungsbeschluss –einstimmig beschlossen Geplant ist die baurechtliche Sicherung bereits errichteter Carports auf FlNr. 503/12 Gemarkung Wotzdorf. Die errichtete Bebauung weicht aktuell von den Festsetzungen des rechtskräftigen Baubauungsplanes ab. Die Änderung des Bebauungsplanes Fürsetzing im Bereich der FlNr. 503/12 Gemarkung Wotzdorf zur nachträglichen Genehmigung der baulichen Anlagen wurde beschlossen. Die Kosten trägt der Antragsteller.

Wasserleitungsbau JahrdorfWastlweg mit Deckenerneuerung; Vergabe der Straßen- und Tiefbauarbeiten – einstimmig beschlossen 2022 wurde das Deckensanierungskonzept 2021 – 2024 beschlossen. 2023 ist die Asphaltsanierung und der Wasserleitungsneubau im Straßenabschnitt „Wastlweg“ vorgesehen. Die Arbeiten wurden beschränkt ausgeschrieben, zwei Firmen haben ein Angebot form- und fristgerecht abgegeben. Die Vergabe erfolgte an die Fa. Wundsam Bau GmbH, Hauzenberg zu einer Angebotssumme von 289.994,05 € als wirtschaftlichsten Bieter.

Kamerabefahrung der Abwasserleitungen 2023; Durchführung und Vergabe – einstimmig beschlossen Die Stadt Hauzenberg ist verpflichtet das Kanalsystem in einem 10-Jahres Turnus zu inspizieren. 2023 sollen die Bereiche Hauzenberg West, Raßreuth sowie Fürsetzing überprüft werden. Die Kamerabefahrung wurde beschränkt ausgeschrieben, zwei Firmen gaben ein Angebot form- und fristgerecht ab. Die Durchführung der Kamerabefahrung 2023 für die genannten Bereiche wurde beschlossen. Die Vergabe erfolgte an die Fa. Kuchler GmbH, München, zur Angebotssumme in Höhe von 188.367 € als wirtschaftlichsten Bieter.

Verkaufsoffener Sonntag im Jahr 2023; Erlass einer Verordnung Nach § 14 Ladenschlussgesetz können Gemeinden durch Rechtsverordnung be -

stimmen, dass Verkaufsstellen aus Anlass von Märkten, Messen u.ä. Veranstaltungen an höchstens vier Sonn- und Feiertagen geöffnet werden dürfen. Die Verordnung über die Freigabe von verkaufsoffenen Sonntagen im Jahr 2023 für den Herbstmarkt am 15.10.2023 von 12.00 Uhr bis 17.00 Uhr wurde erlassen.

Bauausschuss, sI tzung v O m 19.09.2023

Aufstellung der Ortsabrundungssatzung (OAS) Haghäusel; Abwägung und Satzungsbeschluss –einstimmig beschlossen 2022 wurde vom Stadtrat beschlossen, für Haghäusel eine OAS aufzustellen. Der bebaute Bereich soll als Innenbereich abgegrenzt werden, Außenbereichsflächen werden einbezogen und können dann bebaut werden. Die Beteiligung der Öffentlichkeit und Fachstellen erfolgte nun im Juli/August 2023. Der Bauausschuss schloss sich den Abwägungsempfehlungen der Verwaltung an und beschloss die Ortabrundungssatzung Haghäusel als Satzung.

Dorferneuerung Germannsdorf, OT Ruhmannsdorf Straßenbeleuchtung; Vergabe – einstimmig beschlossen Im Zuge der DE Germannsdorf für den Bereich Ruhmannsdorf ist auch die Straßenbeleuchtung zu erneuern. Hier sollen 23 Solarleuchten entsprechend dem Beleuchtungskonzept verbaut werden. 3 Firmen gaben ein Angebot ab. Den Zuschlag erhielt die Bayernwerk Netz GmbH, Regensburg zur Angebotssumme von 96.777,90 € als wirtschaftlichster Bieter.

Dachsanierung der Werkstatt am Bauhof; Auftragsvergabe –einstimmig beschlossen Die Ausschreibung zur Dachsanierung erfolgte mit Aufforderung zur Angebotsabgabe an 8 Firmen. Bei Angebotseröffnung lagen 4 Angebote vor. Die Vergabe erfolgte an die Fa. Holzbau Löffler GmbH, Thyrnau mit der Angebotssumme von 94.500,28 € als wirtschaftlichster Bieter.

116 Amtsblatt | 50.09 Informationen aus dem Sitzungsdienst informationen aus dem sitzun G sdienst

Dachsanierung Lagerhalle in Eckmühle; Durchführung und Vergabe – einstimmig beschlossen

Die Dacheindeckung mit asbesthaltigen Zementfaser-Wellplatten ist bereits undicht und brüchig. Eine Dachschalung ist nicht vorhanden, so dass Wasser in die Lagerhalle an den undichten Stellen eindringen kann. Eine Erneuerung mit Trapezblech und entsprechender Unterkonstruktion inkl. Unterspannbahn ist nun vorgesehen. Die Ausschreibung erfolgte, 4 Angebote wurden abgegeben. Die Durchführung der Dachsanierung wurde beschlossen. Die Vergabe erfolgte an die Fa. Holzbau Löffler, Thyrnau als wirtschaftlichster Bieter zur Angebotssumme von 40.881,26 €

informationen

a ntragsfr I sten für sI tzungen

— Am 24.10. für die Sitzung des Stadtrates am 06. November 2023

— Am 31.10. für die Sitzung des Bauausschusses am 13. November 2023

— Am 15.11. für die Sitzung des Wirtschafts-, Struktur- und Umweltausschusses am 28. November 2023

s chl I esstage des r athauses

Das Rathaus der Stadt Hauzenberg sowie der städtische Bauhof sind am Montag, den 09.10.2023 nachmittags geschlossen.

Des Weiteren ist das Bürgerbüro der Stadt am Montag auch vormittags auf Grund der umfangreichen Wahlnacharbeiten geschlossen.

Die weiteren Abteilungen im Rathaus sind vormittags wie gewohnt zu erreichen.

Am Montag, den 16.10.2023 findet nachmittags die Personalversammlung der Stadt Hauzenberg statt. Aus diesem Grund sind das Rathaus sowie der Bauhof an diesem Tag nachmittags geschlossen. Ab Dienstag, den 17.10.2023 sind Verwaltung und Bauhof wieder zu den gewohnten Zeiten erreichbar.

Wir bitten die Bevölkerung hierfür um Verständnis.

Reguläre Öffnungszeiten:

Mo - Freitag 8.00 – 12.00 Uhr

Mo, Di, Do 13.00 – 17.00 Uhr

reits angepackten und abgeschlossenen Projekte vorstellen. Ebenso möchte ich Ihre Anliegen erfahren und Ihnen im persönlichen Dialog Rede und Antwort stehen, zu Themen, die Sie interessieren und bewegen.

Daher lade ich Sie sehr herzlich zu den insgesamt 4 stattfindenden Bürgerversammlungen ein. Diese finden im November/Dezember 2023 zu folgenden Terminen und Veranstaltungsorten statt:

21.11.2023

Veit-Hof, für die Gemeindeteile Raßreuth, Krinning, Gießübl, Geiersberg und Freudensee

27.11.2023

Gasthaus Prager, für die Gemeindeteile Wotzdorf, Oberdiendorf, Oberkümmering, Raßberg und Bauzing

29.11.2023

Gasthaus Stemplinger Hansl, speziell für Hauzenberg

07.12.2023

Bürgerversammlungen

2023

Liebe Mitbürgerinnen und Mitbürger, durch die Corona-Pandemie konnten die Bürgerversammlungen lange nicht mehr wie in gewohnter Weise durchgeführt werden. Die letzten Bürgerversammlungen fanden zudem im Juni/Juli 2022 statt. Dieses Jahr kehren wir wieder auf unseren regelmäßigen Turnus zurück und veranstalten die Bürgerversammlungen wie gewohnt Ende des Jahres 2023 für alle Gemeindebereiche.

Ich möchte Ihnen im Rahmen der Bürgerversammlungen gerne unsere be -

Gasthof Waldbauer, für die Gemeindeteile Jahrdorf, Germannsdorf und Haag

Beginn der Versammlungen: jeweils um 19:00 Uhr.

Diese Versammlungen bieten überdies eine gute Gelegenheit, Themen aus allen Gemeindeteilen kennenzulernen und sich einen Überblick über die Vielfalt der Maßnahmen zu verschaffen.

Falls Sie bereits im Vorfeld inhaltliche Fragen zu den Bürgerversammlungen stellen möchten, schicken Sie uns diese gerne unter Angabe Ihres Namens und Ihrer Kontaktdaten per E-Mail an buergerversammlungen@hauzenberg.de.

Bei der Beantwortung Ihrer Fragen wird Ihr Name öffentlich genannt. Hierzu ist es notwendig, dass Sie eine Einwilligungserklärung ausfüllen und uns in der E-Mail gemeinsam mit Ihrer Frage zukommen lassen. Die Einwilligungserklärung finden Sie auf unserer Homepage unter www.hauzenberg/buergerversammlungen.

Ich freue mich auf Ihre rege Teilnahme und verbleibe mit freundlichen Grüßen

Hauzenberg, 13.09.2023 Gudrun Donaubauer, 1. Bürgermeisterin

117 Amtsblatt | 50.09 Informationen

„Herzlich willkommen im Rathaus“, so lauteten die Willkommensworte der 1. Bürgermeisterin Gudrun Donaubauer an Eva Rott. Zusammen mit dem zuständigen Personalsachbearbeiter Daniel Anetzberger sowie Personalrat Matthias Falkner begrüßte die Bürgermeisterin Frau Rott am 01. September im Namen der gesamten Verwaltung. Eine anspruchsvolle und abwechslungsreiche Ausbildung zur Verwaltungsfachangestellten wartet nun in den nächsten drei Jahren auf die junge Auszubildende.

Begleitend zur dreijährigen praktischen Ausbildung im Rathaus wird Frau Rott die Berufsschule in Passau besuchen. An der Bayerischen Verwaltungsschule werden in überbetrieblichen Ausbildungsveranstaltungen zusätzlich umfangreiche theoretische Kenntnisse vermittelt.

Der Mangel an Fachkräften in der Verwaltung wächst von Jahr zu Jahr. Der Arbeitsmarkt ist regelrecht leergefegt. Im öffentlichen Dienst wird die Lücke von qualifiziertem Personal immer größer. Aus diesem Grund setzt die Stadt Hauzenberg auch weiterhin auf eigene Ausbildung. Mit dieser vorausschauenden Personalpolitik können sich die Hauzenberger Bürgerinnen und Bürger auch künftig auf ein kompetentes Team in allen Bereichen der öffentlichen Verwaltung verlassen.

Eva Rott freute sich sehr über die herzliche Begrüßung im Rathaus. Mit viel Freude und Motivation startete sie in ihren neuen Lebensabschnitt.

Sonntag, 22. Oktober

...mmmh, buonissimo...

ab 9:00 Uhr

Reservierung Tel. 08586 9792616

Bayerwaldstr. 10 • 94051 Hauzenberg

Bayrischer

von 9:00 bis 14:00 Uhr

Reservierung Tel. 08586 1216

Am Rathaus 6 • 94051 Hauzenberg

ab 10:00 Uhr

Reservierung Tel. 08586 917411

Posthalterweg 7 • 94051 Hauzenberg

118 Amtsblatt | 50.09 Informationen
e I gene a us BI ldung
r athaus setzt auf
Wir freuen uns auf Ihren Besuch
auruncenber t
Brunch
Italienischer
Brunch
BBQ-Brunch
THE
PLACE
American
ALWAYS
RIGHT
1. Bürgermeisterin Gudrun Donaubauer mit Eva Rott sowie Daniel Anetzberger (Personalamt) und Matthias Falkner (Personalrat)

Immer wissen, was los ist in unserer Gemeinde!

Unter diesem Motto haben wir die „Heimat-Info“ App vor wenigen Monaten eingeführt. In der App werden Sie tagesaktuell über Neuigkeiten aus der Gemeinde oder über Aktuelles und Veranstaltungen unserer Vereine und Organisationen informiert. Auch Informationen, wie z.B. Online-Anträge oder unseren Abfallkalender, können Sie in der App abrufen. Wenn Sie die Heimat-Info App noch nicht auf Ihrem Smartphone geladen haben, können Sie sich diese jetzt kostenfrei und ohne Registrierung herunterladen. Ab sofort können über die Hauzenberg App „Heimat-Info“ nun auch Schadensmeldungen an die Gemeinde gesendet werden.

Tippen Sie hierzu auf den untenstehenden Button „Melder“.

Wichtige Nachricht an alle Vereine, Organisationen und Einrichtungen:

Haben Sie sich schon registriert? In der Heimat-Info App erreichen Sie alle Hauzenberger ganz einfach. Für Informationen zur Registrierung Ihres Vereins oder Ihrer Einrichtung kontaktieren Sie bitte das Team von Heimat-Info (0152/37390728, info@heimat-info.de) oder Frau Theresa Lenz (08586/3032, theresa.lenz@hauzenberg.de) von unserer Verwaltung.

n Ä chster

r entensprechtag

Das staatliche Versicherungsamt Passau wird am Montag, den

26.10.2023 von 13:00 Uhr – 16:00 Uhr im Rathaus der Stadt Hauzenberg, Marktplatz 10, 94051 Hauzenberg, Fragen der Bürger zum Rentenrecht beantworten.

Das Versicherungsamt erteilt Auskunft zu allen Fragen aus dem Rentenversicherungsrecht; z. B. zu Rentenauskünften, zu Regelungen der Mini- und MidiJobs, Grundsicherung im Alter und bei Erwerbsminderungsrente, Versicherungspflicht von Selbständigen und Handwerkern, zwischenstaatlichen Regelungen, Voraussetzungen für eine Rente usw.

Die ratsuchenden Bürger werden gebeten, im Rathaus (Bürgerbüro, Zimmer E.04) einen Termin zu vereinbaren und entsprechende Unterlagen zur Vorsprache mitzubringen. Bei der Stellung von konkreten Anträgen und persönlichen Auskünften ist aus Datenschutzgründen der Personalausweis und ggf. eine Vollmacht vorzulegen.

Ansprechpartner für Terminvereinbarung:

Stadt Hauzenberg - Bürgerbüro Frau Hartl, Tel.: 08586/30-60, Frau Anetzberger, Tel.: 08586/30 -62 und Frau Stefan Tel.: 08586/30 -63

Morgens früher hell, abends eher dunkel! Wie in jedem Jahr werden auch 2023 die Uhren am letzten Sonntag im Oktober auf die Winterzeit umgestellt. In der Nacht vom 28. auf den 29. Oktober 2023 heißt es dann: eine Stunde mehr Schlaf. Die Uhren werden von 3 auf 2 Uhr zurückgedreht.

22. Oktober | 16:00 Uhr Adalbert-Stifter-Halle „Kasperl und der kleine Drache“

Eintritt € 4,–, mit Platznummerierung Vorverkauf im Tourismusbüro Privatmarkt

w aldgrundstück gesucht Freiluftklasse sucht ein kleines Waldstück in Fußnähe zum Förderzentrum, in dem die Kinder jeden Dienstag Vormittag ungestört entdecken, spielen und bauen können.

Bitte melden unter petra.kloepfer@gmx de

119 Amtsblatt | 50.09 Informationen z e I tumstellung
neu : s chadensmelder I n der a pp
k asperltheater

05.10. Selbstverteidigung und Selbstbehauptung

für Frauen

Do, 17:30 – 19:00 Uhr, 6 ×

07.10. Nähen von Tellerröcken

Sa, 09:00 – 15:00 Uhr, 1 ×

07.10. Seife sieden

Sa, 17:00 – 20:00 Uhr, 1 ×

08.10. Waldbaden – die Kraft aus dem Wald

So, 09:00 – 11:00 Uhr, 1 ×

09.10. Faszination Unterwasserwelt im Roten Meer – Vortrag

Mo, 14:30 – 16:00 Uhr, 1 ×

10.10. Wenn bloß die anderen nicht wären –

Der Umgang mit schwierigen Menschen

Di, 18:00 – 20:00 Uhr, 1 ×

10.10. Aikido - japanische Kampfkunst für Anfänger

Di, 18:30 – 20:00 Uhr, 6 ×

13.10. Besser fotografieren statt knipsen – mit Exkursion

Fr, 18:00 – 20:00 Uhr, 7 ×

16.10. Computer Einsteigerkurs für Senioren

Mo, 13:30 – 15:45 Uhr, 5 ×

21.10. Einführung in die Gewaltfreie Kommunikation

Sa, 09:00 – 17:00 Uhr, 1 ×

22.10. Vom Forst zum Moor

So, 14:00 – 16:30 Uhr, 1 ×

23.10. Express Yourself –

freies künstlerisches Gestalten

Mo, 18:00 – 20:00 Uhr, 2 ×

24.10. Android-Smartphone

Di, 09:00 – 12:00 Uhr, 1 ×

25.10. Mir steht alles im Gesicht geschrieben

Mi, 18:00 – 20:00 Uhr, 1 ×

Die genaue Kursbeschreibung entnehmen Sie bitte dem Programmheft oder dem Internet: www.vhs-passau.de

bei Bachl

Eine gute Ausbildung ist ein elementarer Grundstein für den späteren beruflichen Erfolg.

Als einer der führenden Produzenten und Dienstleister im Bausektor und der Dämmstofftechnik ist die Unternehmensgruppe BACHL an über 40 Standorten im Inund Ausland tätig.

Durch unsere unterschiedlichen Unternehmensbereiche gibt es eine Vielzahl an Ausbildungsbe rufen

Wenn du motiviert, lernfähig und zuverlässig bist und Wert auf eine gute Ausbildung legst, freuen wir uns auf deine aussagekräftige Bewerbung!

Sonniges EFH mit Aussicht in zentr. Lage von Hauzenberg

hauzenber PILSL Immobilien Stadionstr. 20 94051 Hauzenberg

 Gute Lage und bezahlbarer Preis

 Grundstück ca. 300 m²  Wohnfläche ca. 100 m²

 BJ 1937 mit verschiedenen Anbauten/Renovierungen

 EAB 598,8 kWh/(m²·a); hohe

KfW-Förderung

G kurse o Kaufpreis: 155.000,– Euro + 3,57 % Maklercourtage inkl. gesetzl. MWSt von 19 %

Alle offenen Stellen sowie Angebote zu dualen Studiengängen findest du unter www.ausbildung.bachl.de

120 Amtsblatt | 50.09 Informationen Deching 3 | 94133 Röhrnbach | Personalreferentin Claudia Rosenberger Tel. +49 8582 18-2525 | karriere@bachl.de
Gemeinsam Werte schaffen. und BAYERWALD Karriere
WERDE TEIL DES TEAMS BAYERWALD® Fenster Haustüren GmbH & Co. KG Mitglied der BACHL Gruppe Karl Bachl GmbH & Co. KG
Info und Anmeldung 0 85 86/57 98 oder per E-mail: info-hauzenberg@vhs-passau.de ktober KOMPETENT DISKRET ZUVERLÄSSIG PILSL IMMOBILIEN Telefon 0 85 86 - 9 79 69 30 Mobil 0170 - 6 58 17 75 immobilien-pilsl@gmx.de
 Einzelgarage, Ofenheizung

Posthalterweg 7

Telefon: 08586/9687-18

Mo+Di: 8:30 – 16:30 Uhr

Mi+ Fr: 8:30 – 13:00 Uhr

Do: 8.30 – 17.30 Uhr

Bauh O f Jahrd O rf

Industriestraße 9

Telefon: 08586/3055

Telefax: 08586/30-155

Wasserwart: 0171/7374332

Bayer I sches rO tes k reuz

• Ambulante Pflege • Hilfe für Angehörige • Essen auf Rädern • Hausnotruf

• Seniorenreisen • Erste Hilfe-Kurse

jeden letzten Samstag im Monat

Florianstraße 5

Telefon: 08586/970-93

Mobil: 0176/10222044

Beratungs- und Begegnungsterm I n der Bayer. Bl I nden- und s eh B eh I nderten B undes e. v .

Jeden letzten Samstag im Monat ab 14:00 Uhr, Gasthaus Falkner

Leitung: Egid Mühlberger

Telefon: 08584/638

Brennpunkt –

O ffener Jugendtreff

Pfarrstraße 3

Leitung: Jugendpflegerin

Martina Schwarz, Tel. 0171-9713707

Di: offener Mädchentreff ab 11 Jahre von 15:30 – 19:00 Uhr

Mi: offener Jugendtreff für alle Jugendliche ab 12 Jahre von 15:30 – 20:00 Uhr

c ar I tas

Eckhofkeller 6

Ambulante Pflege • Hausnotruf • Essen

auf Rädern • Kranken-Pflegekurse

Telefon: 0 85 86/976033-31

Fachstelle für pflegende Angehörige:

Beratung und Entlastung Pflegender

Telefon: 08586/976033-35

Tagesbetreuung

Telefon 08586/976033-60

Sozialberatung

Telefon 0851/5018-762

f lÄ ndl I cher f am I l I end I enst

dI özese p assau

Leitung Maria Eder Tel. 08592/1888

Mobil: 0160/4532412

h allen B ad h auzen B erg ( e ckmühlstr. 28)

Das Hallenbad ist ab Freitag 06.10.2023

wieder geöffnet:

Di + Fr: 17:00 – 20:00 Uhr

Sa 14:00 – 17:00 Uhr

k fz- z ulassungstelle/ Bahnhofstraße 18

Mo–Do: 07:30 – 12:00 Uhr

13:00 – 15:30 Uhr

Fr: 07:30 – 11:30 Uhr

Tel: Vorwahl Passau 0851/397-722

k re I smus I kschule

Telefon: 08586/9 10 47

pO l I ze II nspekt IO n Langfeld 1 (Gewerbegebiet Eben)

Telefon: 08586/96050

pO stagentur – fI l I ale h auzen B erg Pfarrer-Zellbeck-Weg 4

Mo–Fr: 08:00 – 18.00 Uhr

Sa: 07:30 – 13:00 Uhr

Telefon: 08586/97626614

r athaus h auzen B erg

Marktplatz 10 Tel.: 08586/30-0, Fax: 08586/30-120

E-Mail: stadtinfo@hauzenberg.de

Öffnungszeiten:

Mo – Fr 8.00 – 12.00 Uhr

Mo, Di + Do 13.00 – 17.00 Uhr

Mi + Fr nachmittags geschlossen

s tadt B üchere I h auzen B erg

Marktplatz 10, Tel.: 08586/3080

Mo 16:00 – 18:30 Uhr

Mi + Fr 14:30 – 17:00 Uhr

Sa 10:00 – 11:30 Uhr

E-Mail: buecherei@hauzenberg.de

t tüv - p rüfstelle

Fritz-Weidinger-Straße 38

Do: 08:00–12:00 Uhr u. 13:00–17:00 Uhr

Fr: 08:00–12:00 Uhr u. 13:00–16.00 Uhr

Telefon: 08586/91557

w ald B auerngen O ssenschaft

s te I n B erg

Erwin Pauli, IGZ – Am Steinfeld 12, 94065 Waldkirchen, Tel. 08581/97 11 95

Mobil +49 (0)151-20 16 09 73

w ertst O ffh O f

Steinmetzstraße 6, Tel: 08586/6408

Öffnungszeiten:

Di, Mi + Fr 09:00 – 17:00 Uhr,

Sa: 09:00 – 14:00 Uhr

Änderung der Öffnungszeiten ab 30.10.

Di, Mi + Fr 09:00 – 16:00 Uhr,

Sa: 09:00 – 12:00 Uhr

wO chenmarkt

Jeden Dienstag, 8:00 – 12:00 Uhr

Zentrum Hauzenberg

sP rechta G e im r athaus, (1. s tock z i- n r. 1.08)

Bis auf weiteres finden keine Sprechtage im Rathaus statt. In dringenden Fällen können Sie folgende Einrichtungen telefonisch erreichen:

g esundhe I tsamt p assau –

sO z I aler Beratungsd I enst Tel. 0851/397-800 oder -841

vd k - s prechstunde

Tel. 0851/955280 | Fax 0851/9552828

Beratung für w ald B es I tzer

Telefon: 08586/3090

Mobil: +49 (0)162/1316070 per E-Mail:

Florian.Hofinger@aelf-pa.bayern.de

Beratungsstelle der l e B ensh I lfe p assau für m enschen m I t

Beh I nderung e. v .

Telefon: 08 51/949 94-710

121 Amtsblatt | 50.09 Adressen & Öffnungszeiten a s b h P c k w r a O k
Kai‘s Cafe Bistro Bar www.kais-bistro.de T: 08586 917411 Posthalterweg 7 94051 Hauzenberg ab Donnerstag Samstag | 20:00 Uhr Sonntag | ab 10:00 Uhr Musik vom Feinsten Eintritt frei! Unser Grillmeister sorgt für den Genuss All you can eat Hot & Spicy 20,90 € pro Person 12. OKTOBER 14. OKTOBER 22. OKTOBER TEX MEX BURGER DRINKS & MORE AMERICAN WEEK LIVE & UNPLUGGED AMERICAN SPECIALS VOM GRILL BBQ BRUNCH FOUR GREY HOUNDS 15. OKTOBER Beginne Deinen Shopping-Sunday bei einem entspannten Frühstück oder Mittagessen bei Kai’s Verkaufsoffener Sonntag KAI‘S CAFÉ BISTRO BAR 26 26Years Years WE CELEBRATE
Mia g‘frein uns auf Dich!

Turn static files into dynamic content formats.

Create a flipbook
Issuu converts static files into: digital portfolios, online yearbooks, online catalogs, digital photo albums and more. Sign up and create your flipbook.