
Matthew Higa
|
![]()

Matthew Higa
|
A CAPSTONE DESIGN RESEARCH PROJECT SUBMITTED IN PARTIAL FULFILLMENT OF THE PLAN B REQUIREMENTS FOR THE DEGREE OF
MASTER OF LANDSCAPE ARCHITECTURE
MAY 2021
BY MATTHEW HIGA
CAPSTONE COMMITTEE: JUDITH STILGENBAUER, CHAIRPERSON
PHOEBE WHITE PRIYAM DAS
KEYWORDS: BIOCULTURAL, AGROECOLOGY, KUAUNA, EMBANKMENTS, HAWAII
My deepest gratitude goes to my teachers, committee chair, Professor Judith Stilgenbauer, studio professor, Phoebe White, committee member, Professor Priyam Das for their expertise, guidance, and support throughout this academic journey. My appreciation is extended to Assistant Professor, Simon Bussiere, and all of the faculty and staff at SOA. I would also like to express my heartfelt appreciation to the people at Kākoʻo ʻŌiwi and The Nature Conservancy for their unwavering dedication to Hoi and the perpetuation of Native Hawaiian culture and resource management practices. Their willingness to share their ‘ike was invaluable and my project would not have been possible without their aloha and guidance. I would be remiss not to acknowledge the profound impacts that my Kumu and brothers and sisters at Hālau I Ka Wēkiu have taught me about the importance of perpetuating Native Hawaiian culture, whether through language, music, dance, crafts... this educational exercise would not be available to me without the unwavering dedication of all the Kānaka Maoli scholars and practitioners.
Finally, I would like to thank my family and friends for all of their encouragement and love. To my father Lloyd Higa, your quiet and incredible work ethic is an ongoing source of inspiration for me, you’ve tirelessly provided for me without complaint and words cannot describe my gratitude. To my mother, Shirley Higa, your spirited confidence and faith in me have been my cornerstone. Thank you for always being in my corner and being the inner voice I need to hear when times are tough. To my brothers, nieces and nephew, thank you for always knowing how to put a smile on my face. Ian, thank you for enduring through my endless ruminations, even when they are nonsensical. Even though my stress may have clouded my appreciation, I am truly grateful that you brew fresh coffee for me every morning. My heart and my tummy were full when you brought me food when I couldn’t make it to the table. I don’t know how I would have gotten through this without you.

Man piling taro on kuauna, embankment, Hawaiʻi. 1920s

Over a thousand years of observation and experimentation, Native Hawaiian mahiʻai (farmers, food cultivation systems experts) developed advanced biocultural technologies that supported feeding large populations with limited resources and extreme isolation. The expansive terraforming terracing system known as loʻi wai irrigated loʻi kalo (taro pond fields) while enhancing watershed performances. Major architectural features of these indigenous productive landscapes were the kuauna, embankments that divided and organized the loʻi kalo system.
Kuauna were integral to the agricultural performances of loʻi kalo. The kuauna provided the framework to disperse irrigation water, provided crop windbreaks, and created additional growing areas. Kuauna further facilitated extensive social networks that connected communities by creating dry flat areas to travel, gather, relax, and process harvested food. Ecologically, the kuauna and loʻi wai system mimicked the watersheds’ performances creating synanthropic environments for native wetland flora and fauna to cohabit the space.
The loʻi wai system along with other cropping systems, aquaculture, fisheries, and a sophisticated kapu system could produce over one million metric tons of food across the Hawaiian islands annually while managing only fourteen percent of the archipelago’s total landmass. Kuauna played a critical role in indigenous diverse agricultural cropping systems that worked in tandem with native ecosystems. Over time, these traditional land management practices evolved into advanced biocultural
resource management systems that structured Native Hawaiian government, values, and principles.
Prior to western contact (pre 1779), it is estimated that loʻi kalo systems covered at least 20,000 acres over six islands in the Hawaiian islands. By 1900, loʻi kalo systems had been decimated to 1,280 acres. Many factors can be attributed to the erasure of kalo cultivation. Noelani Goodyear-Ka‘ōpua wrote that “the active use of these ancestral technologies of irrigation and farming declined due to a number of factors: massive population collapse, dislocation of Kānaka from the land, suppression of Hawaiian self-governance, and diversion of water for industrial agriculture, housing and tourism development.” Today only 400 acres of loʻi kalo systems remain in the state.
This capstone research project investigates the multifaceted properties that kuauna contribute to loʻi wai systems and specifically performances at Hoi, how kuauna engaged their surrounding communities, and how kuauna can activate communities and respond to the effects of climate change.



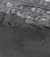
Heʻeia fishpond, 1920s. Fishponds played important roles in biocultural resource management.


existing kuauna typologies Hoi, Heʻeia, Oʻahu

This capstone research approaches the site by integrating two methodologies. The first methodology is employed as a means to research Hawaiian landscapes as outlined in Mehana Blaich Vaughan’s entry, “He Lei Aloha ʻĀina”(Oliveira, 2016, page 42), where she juxtaposes the art of lei wili (wrapped-style lei) as a metaphor for researching Hawaiian landscapes. Lei wili can embody a place. A traditionally crafted lei is typically made from plant material gathered near the lei makers’ home, if not their own garden, and thus lei are place-specific manifestations of Hawaii’s landscapes.
Vaughan specifically refers to the wili (wrapped) style of lei making to express her research methodologies because it requires multiple fibers to bind the plant material to the spine of the lei. In this work, I apply Vaughan’s three strands of ʻike (knowledge) methodology as the lens to research the properties of the site, Hoi, of loʻi wai and kuauna. The three strands that compose Vaughan’s research methodologies frame Hawaiian landscape research from the lenses of “ʻāina as source, people, and on-going connection and care” (Oliveira, 2016, page 46-48) “ʻĀina as source,” Hawaiian landscape research should start by looking at the physical, historical, and cultural composition of a place. “ʻĀina as people,” every place in Hawaiʻi has cultural ties to a community. People often build connections to place by actively engaging with the landscape, these people are a vital component to landscape research as they are vessels of observation and wisdom of the place. ““Āina as Ongoing Connection and Care,” is looking towards the future. There are many community-based initiatives in Hawaiʻi that follow mālama ʻāina as their main purpose for organization. Identifying ways to nurture humans connections to care for place, to mālama ʻāina is a critical step that allows research to progress from data collection to analysis, synthesis, and forecasting. (Oliveira, 2016, page 46-48)
As Vaughan’s research methodology pointedly calls out, human connection to place represents a vital role in the degredation, preservation, management, and/or protection of Hawaii’s
landscapes. This principle shares in the strategies of the biocultural approach to ecological restoration. (Bremer et al. 2018)
The biocultural approach to landscape restoration equally weighs the importance of ecological outcomes, like erosion control, stormwater management, improving water quality, and cultural outcomes, like agricultural practices, community building, access to resources etc. The biocultural approach emphasizes that “cultural and biological outcomes are interlinked and mutually reinforcing.” (Bremer et al, 2018)
Resilience of a landscape can be measured by the ability to absorb environmental and cultural shocks and stresses without transforming into a different state, such as different biological communities that alter ecosystem services, species collapse, etc. (Winter et al. 2018) The restoration of Native Hawaiian biocultural landscapes and their associated land management alternatives “can reconcile agricultural production with the maintenance and enhancement of biodiverisity and ecosystem services in human-dominated landscapes now and into the future..” (Kurashima et al. 2019)
In the Hawaiian context, biocultural land management practices can be translated to mālama ʻāina. The concept of mālama ʻāina, roughly translates to “care for the land.” (Vaughan, 2018) Hālau Kū Māna, a public charter school’s practice of mālama ʻāina expands on this notion by including time and interconnectivity. “Malama ʻāina is the actual hana (work) of caring for the land on a regular and long-term basis...Learning at the loʻi is about producing food and being self sustainable…It is the idea of taking care of the entire system...of being accountable to more than just one person.” (Goodyear-Kaʻōpua, 2016)
Biocultural land management systems were “intensely cultivated to maximize resource abundance by attaining a stable state known in Hawaiian as ʻāina ʻmomona. ʻĀina momona is literally translated as fat, or rich, land. ʻĀina momona is a stable state that describes landscapes in Hawaiʻi that have maximized carrying capacities that maintains or enhances biodiversity and ecosystem services and plant-based productivity for human use. (Winter et al.; 2018)
Upon western contact, biocultural management systems were interupted by the introduction of land ownership. Kuleana, means both right and responsibility. Prior to the concept of land ownership was introduced to Hawaiian landscapes the aliʻi, chief-class, were responsible for managing large areas of land, from the island scale to the district scale, kuleana lands were passed from chiefs to family units to manage and cultivate. Land privatization constructed boundaries and severed access from people to interdependent and shared resources.
“Access refers to the ʻability to benefitʻ from a natural resource, whether or not an individual has a formal property right to do so. Means of access can include identity, such as genealogical connection or social relationships allowing one to gather in a given ahupuaʻa (land division;)..Changes in property ownership happen quickly, but changes in access can occur more gradually.”
(Vaughan, 2018)
Native Hawaiian land management divisions were the principal framework of biocultural resources. Recovering Native Hawaiian landscapes and land management practices must include the understanding of ʻāina division systems.











The Hawaiian island archipelago is approximately 1,860 miles away from the nearest continental point. Archaeological settlement patterns across the archipelago identifies a critical point in pre-contact Native Hawaiian history known as the Expansion Period (1100-1650 C.E.) . The Expansion Period saw unprecedent population growth with conservative estimations at several hundred thousand. The population growth necessitated sophisticated use of arable land, water, and resource management. Prior to the Expansion Period, early Hawaiian communities clustered near the coast, but during the expansion period dispersed communities settled lands around the resources they managed. The population boom created new forms of resource management governance, social stratification, and land divisions reliant on interdependent natural resource availability. (Abbott, 1992)
The largest divisions of Hawaiian land are islands because they are separated from each other by the sea. In Hawaiian, an island is known as a mokupuni. This capstone project’s site, Hoi, is located on the island of Oʻahu. Oʻahu is the most populated and densely developed in the island chain. Next, each island is divided into a moku unit.
The moku unit is the most closely aligned with archipelago-scale ecoregions. Ecoregions are areas of land that share relatively similar natural resources, geographies, and microclimates. (Kurashima, 2018) Hoi is in the moku of Koʻolaupoko. Koʻolaupoko extends from the north end of Kualoa, to Kuli‘ou‘ou Ridge on the south end at Maunalua Bay. (Elspeth, 1997) Understanding the Moku system is understanding how access to shared resources occured in traditional Hawaiian communities at the largest scale. A part of managing biocultural resources was managing the fishing and hunting of those resources.
Lawaiʻa, is roughly translated as fisherman, but when deconstructed into its linguistic parts, lawa, means enough, iʻa means fish. Lawaiʻa can be then roughly translated as one who manages the integrity and perpetuity of fish populations. This principle can be scaled and understood at the moku division. Moku framed the boundaries for ahupuaʻa, to manage resources. “Various types of rotating kapu were employed in concert, beetween ahupuaʻa within the context of the moku, to siynergistically yield long-term abundance of key biocultural resources.” (Kurashima, 2019)

The ahupuaʻa is the most well-known of the Hawaiian land divisions. Hoi is an ʻili ʻāina, a smaller land division, that is located within the ahupuaʻa of Heʻeia. While there are exceptions, ahupuaʻa are traditional Native Hawaiian land divisions that were typically described as self-sustaining ridge to reef ecosystems that provided the land division’s inhabitants with all of life’s basic necessities to gather and cultivate an interdependent abundance. (Abbott, 1992) However, Lorenz Gonschor and Kamanamaikalani Beamer press that “more likely rationale for ahupua‘a boundaries is probably a culturally appropriate, ecologically aligned, and place specific unit with access to diverse resources.” (Gonschor and Beamer, 2014) In 2016, Hōkūlani K. Aikau and Donna Kamehaʻikū Camvel stressed that access to natural resources and nurturing the kinship between kānaka ʻōiwi (Native Hawaiian people) and the cultivation of kalo (taro, a Native Hawaiian food-staple) is integral to Hawaiʻi’s indigenous cultural resilience. (Aikau, Camvel 2016)


moku:
Koʻolau Poko
Ahupuaʻa (Heʻeia)
The ahupuaʻa of Heʻeia lies directly north of Kāneʻohe. The name of the ahupuaʻa of Heʻeia is derived from a legend when the goddess, Haumea was swept out to sea. (Sterling, 1993) The ahupuaʻa begins at the ridges of Hāʻiku and ʻIolekaʻa valley and traverses down to the shoreline extending from Heʻeia fishpond, across Kāneʻohe Bay, and defining the northern half of Mokapu Peninsula. Heʻeia was known to be highly agriculturally abundant and home to many cultural sites. “The extensive salt marshes of Heeia inland from the fishponds were not cultivable but fringing them on the south and flanking both sides of Heʻeia Stream, from which they are irrigated, lie the vast terraced lowland flats of this ahupuaʻa, largely planted in taro.” Hāʻiku Valley was traditionally known to be the “hospital for Koʻolaupoko,” many laʻau lapaʻau kahuna, holistic plant medicine men, would travel to the Haʻiku Valley to gather plants with famous medicinal properties. (Elspeth, 1997)











ʻIli (Hoi)
Hoi is an ʻili ‘aina, a smaller division of the ahupuaʻa. An ʻili ʻaina is defined as:
1. Land area; an ʻili land division whose chief pays tribute to the chief of the ahupuaʻa of which it is a part, rather than directly to the king (PE). 2. A division of land smaller than an ahupuaʻa; subdivided in turn into moʻo ʻāina (AP). (Lucas, 1986)
Hoi is comprised of 405 acres of low-lying nenelu, wetlands, and was considered the center of Heʻeia ahupuaʻa (Elspeth, 1997) that led to the 88-acre fishpond of Heʻeia-uli, today known as Heʻeia fishpond. Much of the low-lying wetland area was utilized for kalo (taro) production and aquacultural practices. The nenelu function as a natural tub that stores, absorbs, streamflow for Heʻeia and Puolena Stream. Historically, Hoi was abundant with loʻi kalo. Hoi was part of one of the most expansive areas of wetland taro cultivation on Oʻahu. Wetland taro cultivation persisted through the 1930s but due to shifts towards urbanization and a historic flooding event, much of Hoiʻs are have remained fallow until 2010. (Heʻeia Uli Conservation Action Plan, 2020)









Timeline of land tenure and land use of Heʻeia

Historically, Hoi was an abundant landscape and housed the most extensive wetland loʻi kalo systems on Oʻahu. However, after western contact, extractive industrial land management practices, poor-land use management and rezoning has removed much of Hoiʻs biocultural systems. In 2010, a non-profit organization Kākoʻo ʻŌiwi entered into a 38-year lease with the Hawaiʻi Community Development Authority to return the traditional agricultural practices of Hoi.




































Kākoʻo ʻŌiwi
Today, on the east side of the island of Oʻahu, in the ahupuaʻa of Heʻeia, the nonprofit organization Kākoʻo ʻŌiwi manages a 405-acre wetland site known locally as Hoi by reconnecting Hawaiʻi’s people back to the practices of mālama ʻāina through the rehabilitation of native wetlands and revival of indigenous agroecological practices. Kākoʻo ʻŌiwi is responsible for establishing the community-driven mission and project Māhuahua ʻAi Hoi (“Regrowing the Fruit of Hoi”). Māhuahua ʻAi Hoi aims to restore agroecological productivity to the 405-acre wetland area, utilizing systems consistent with indigenous biocultural management principles to reconnect thriving natural, cultural, social, and economic values for the broader Heʻeia community. (Heʻeia Uli Conservation Action Plan, 2020)
The Heʻeia wetland is managed by Kākoʻo ʻŌiwi under a 38-year lease agreement (fulfilled in 2048) with the State of Hawaiʻi Community Development Authority (HCDA) as the main stakeholder (by area) within the Heʻeia Community Development District (“CDD”.) The Heʻeia CDD is an unprecedented development project that connects stakeholders from federal and state agencies, non-profit organizations, Native Hawaiian community leaders, private land-owners, and broader community leaders to “achieve the overarching vision: recognizing the value of ahupua’a management principles, promote, and cultivate ‘āina momona (abundance) in these lands of He’eia for present and future generations, through culturally appropriate agriculture, education, and natural resources restoration and management.” (Heʻeia Uli Conservation Action Plan,
2020)
Kākoʻo ʻŌiwi also works closely with the National Oceanic and Atmospheric Administration, The Nature Conservancy, Heʻeia National Estuarine Research Reserve, Division of Aquatic Resources, the University of Hawaiʻi at Mānoa, and Paepae o Heʻeia.
The joint interest between the HCDA and a non-profit organization focusing on biocultural restoration is unprecedented. In the past, there were proposals to develop the 405-acre parcel into a real estate development, complete with a marina in the historic Heʻeia fishpond, a suburb in the dredged and filled wetland, and a strip mall community center. (Star Bulletin, 1973) Kākoʻo ʻŌiwi’s community-driven project Māhuahua ʻAi Hoi establishes a model for the State of Hawai’i to reevaluate the benefits of reestablishing traditional biocultural systems. Large parcels of vacant agricultural land, left fallow by industrial pineapple and sugar companies, continue to be developed into suburban sprawl.
The 1976 State of Hawaiʻi Legislature established the HCDA in 1976 to identify underused, deteoriating, and underutilized areas of land as “CDDs” and strategize ways to improve economic opportunities to the CDDs to provide more revenue for the State of Hawaiʻi once redeveloped. (HCDA, dbetd.hawaii.gov)
Prior to the establishment of the Heʻeia CDD, the HCDA established two districts, the Kakaʻako and Kalaeloa CDDs. The Kakaʻako CDD was the first CDD to be identified. With its proximity to the commecial and business cores of urban Honolulu, the The Kakaʻako Community District was identified as candidate for urban renewal. The HCDA’s vision for this district is to ensure a sustainable, livable urban community for people to work, live, visit, learn and play. (HCDA, 2020) In 2002, the State Legislature established the Kalaeloa CDD. The Kalaeloa Vision Statement identified the main purpose is to develop the Kalaeloa District as the Ewa Plain’s “Center for Excellence.” The Kalaeloa District would primarily focus development around mixed use, airport, light and eco industrial, greenaspace, and educational instution projects. (DBEDT, 2013)
The HCDA acquired the 405 acres of Heʻeia from a land exchange with the Bernice Pauahi Bishop Estate in 1991 and authorized a 38-year long-term lease agreement with Kākoʻo ʻŌiwi to primarily reconnect Native Hawaiian land management practices back to the area. In 2011, the HCDA established the Heʻeia CDD in 2011 to establish a joint effort with other stakeholders to “facilitate culturally appropriate agriculture, education, and natural-resource restoration management of the Heʻeia wetlands, which is consistent wit hthe mission of Kākoʻo ʻŌiwi.” (DBETD, dbetd.hawaii.gov)
In 2020, Kākoʻo ʻŌiwi and their partners gathered to draft the Heʻeia Uli Conservation Action Plan (“Heʻeia Uli CAP”). The Heʻeia Uli CAP is intended to be a living planning document that is updated when social, ecological, production goals are redefined or altered.
The Heʻeia Uli CAP identified key management focus areas for the remainder of their long-term lease. During Kākoʻo ʻŌiwi’s tenure at Hoi, stakeholders identified Loʻi Wai, Food Forest & Māla (garden), ʻIke Kūpuna (Traditional Knowledge), Kanaka (People), Native Wetland Ecosystem, Streams, Springs, Fishpond, Muliwai (estuary), Coral Reef Ecossystem, and Native Coastal Seabirds as primary areas to focus on for the management of Hoi.
This capstone research project will primarily focus on the performances of the loʻi wai and associated landscapes because loʻi wai is the “backbone” of biocultural wetland system. The loʻi wai is a stormwater redistribution system that mimics the performances of streams, ponds, and wetlands while irrigating highly productive food resources. In this way, loʻi wai is considered an integrated multiperformative green infrastructure. Loʻi wai slow the velocity of stormwater increasing groundwater regeneration, abating sedimentation, and improving water quality. (SOEST, 2018)

1. Kakaʻako CDD est. 1976
2. Kalaeloa CDD est. 2002
3. Heʻeia CDD est. 2011
4. Stadium CDD est 2019






Loʻi wai can play an integral role in achieving global, federal, state, and local climate change adaptation and mitigation goals. The City and County of Honolulu’s 2017 Stormwater Best Management Practices guidelines aim to incorporate more green infrastructure into Honolulu’s existing stormwater management system (City and County of Honolulu, 2017.)
Funding opportunities are available through a variety of souces, including the City and County of Honolulu’s newly introduced Stormwater Utility Program, which should consider proposed loʻi wai systems eligible for funding. Pursuant to the Clean Water Act, the State of Hawaiʻi established goals to “protect and restore surface waters to fishable and swimmable standards for the purpose of protecting human and environmental health.” (State of Hawaii Department of Health “DOH”, 2018) Expanding loʻi wai at Hoi would improve water quality in terms of abating sediment run off by 38%. Nutrient runoff would increase by 240% because of fertilizer applications, however, if a typical suburban development of comparable size would output almost twice the expanded loʻi wai scenario. (Bremer et al; 2018)
Additionaly, Hawaiʻi Statewide efforts to increase locally produced and consumed food production from 10% to 30% by 2030. (Kimura, 2017) Currently Kākoʻo ʻŌiwi cultivates roughly 3-4 acres of land for wetland kalo cultivation, however the organization hopes to increase managed wetland kalo production to 150 farmed acres. The 150 managed kalo fields would double the output of Oahu’s kalo production and contribute to Hawaii’s local food security goals.
2020)
Kākoʻo ʻŌiwi also works closely with the National Oceanic and Atmospheric Administration, The Nature Conservancy, Heʻeia National Estuarine Research Reserve, Division of Aquatic Resources, the University of Hawaiʻi at Mānoa, and Paepae o Heʻeia.
The joint interest between the HCDA and a non-profit organization focusing on biocultural restoration is unprecedented. In the past, there were proposals to develop the 405-acre parcel into a real estate development, complete with a marina in the historic Heʻeia fishpond, a suburb in the dredged and filled wetland, and a strip mall community center. (Star Bulletin, 1973) Kākoʻo ʻŌiwi’s community-driven project Māhuahua ʻAi Hoi establishes a model for the State of Hawai’i to reevaluate the benefits of reestablishing traditional biocultural systems. Large parcels of vacant agricultural land, left fallow by industrial pineapple and sugar companies, continue to be developed into suburban sprawl.
The 1976 State of Hawaiʻi Legislature established the HCDA in 1976 to identify underused, deteoriating, and underutilized areas of land as “CDDs” and strategize ways to improve economic opportunities to the CDDs to provide more revenue for the State of Hawaiʻi once redeveloped. (HCDA, dbetd.hawaii.gov)
Prior to the establishment of the Heʻeia CDD, the HCDA established two districts, the Kakaʻako and Kalaeloa CDDs. The Kakaʻako CDD was the first CDD to be identified. With its proximity to the commecial and business cores of urban Honolulu, the The Kakaʻako Community District was identified as candidate for urban renewal. The HCDA’s vision for this district is to ensure a sustainable, livable urban community for people to work, live, visit, learn and play. (HCDA, 2020) In 2002, the State Legislature established the Kalaeloa CDD. The Kalaeloa Vision Statement identified the main purpose is to develop the Kalaeloa District as the Ewa Plain’s “Center for Excellence.” The Kalaeloa District would primarily focus development around mixed use, airport, light and eco industrial, greenaspace, and educational instution projects. (DBEDT, 2013)
The HCDA acquired the 405 acres of Heʻeia from a land exchange with the Bernice Pauahi Bishop Estate in 1991 and authorized a 38-year long-term lease agreement with Kākoʻo ʻŌiwi to primarily reconnect Native Hawaiian land management practices back to the area. In 2011, the HCDA established the Heʻeia CDD in 2011 to establish a joint effort with other stakeholders to “facilitate culturally appropriate agriculture, education, and natural-resource restoration management of the Heʻeia wetlands, which is consistent wit hthe mission of Kākoʻo ʻŌiwi.” (DBETD, dbetd.hawaii.gov)
In 2020, Kākoʻo ʻŌiwi and their partners gathered to draft the Heʻeia Uli Conservation Action Plan (“Heʻeia Uli CAP”). The Heʻeia Uli CAP is intended to be a living planning document that is updated when social, ecological, production goals are redefined or altered.
The Heʻeia Uli CAP identified key management focus areas for the remainder of their long-term lease. During Kākoʻo ʻŌiwi’s tenure at Hoi, stakeholders identified Loʻi Wai, Food Forest & Māla (garden), ʻIke Kūpuna (Traditional Knowledge), Kanaka (People), Native Wetland Ecosystem, Streams, Springs, Fishpond, Muliwai (estuary), Coral Reef Ecossystem, and Native Coastal Seabirds as primary areas to focus on for the management of Hoi.
This capstone research project will primarily focus on the performances of the loʻi wai and associated landscapes because loʻi wai is the “backbone” of biocultural wetland system. The loʻi wai is a stormwater redistribution system that mimics the performances of streams, ponds, and wetlands while irrigating highly productive food resources. In this way, loʻi wai is considered an integrated multiperformative green infrastructure. Loʻi wai slow the velocity of stormwater increasing groundwater regeneration, abating sedimentation, and improving water quality. (SOEST, 2018)

1. Kakaʻako CDD est. 1976
2. Kalaeloa CDD est. 2002
3. Heʻeia CDD est. 2011
4. Stadium CDD est 2019






Loʻi wai can play an integral role in achieving global, federal, state, and local climate change adaptation and mitigation goals. The City and County of Honolulu’s 2017 Stormwater Best Management Practices guidelines aim to incorporate more green infrastructure into Honolulu’s existing stormwater management system (City and County of Honolulu, 2017.)
Funding opportunities are available through a variety of souces, including the City and County of Honolulu’s newly introduced Stormwater Utility Program, which should consider proposed loʻi wai systems eligible for funding. Pursuant to the Clean Water Act, the State of Hawaiʻi established goals to “protect and restore surface waters to fishable and swimmable standards for the purpose of protecting human and environmental health.” (State of Hawaii Department of Health “DOH”, 2018) Expanding loʻi wai at Hoi would improve water quality in terms of abating sediment run off by 38%. Nutrient runoff would increase by 240% because of fertilizer applications, however, if a typical suburban development of comparable size would output almost twice the expanded loʻi wai scenario. (Bremer et al; 2018)
Additionaly, Hawaiʻi Statewide efforts to increase locally produced and consumed food production from 10% to 30% by 2030. (Kimura, 2017) Currently Kākoʻo ʻŌiwi cultivates roughly 3-4 acres of land for wetland kalo cultivation, however the organization hopes to increase managed wetland kalo production to 150 farmed acres. The 150 managed kalo fields would double the output of Oahu’s kalo production and contribute to Hawaii’s local food security goals.































































































Like many other coastal sites, Hoi is susceptible to the effects of climate change. Climate change will primarily effect Hoi by sea level rise and increased storm and flooding events. According to the International Panel on Climate Change, the global average temperature will rise at least 1.5°C (2.7°F) by the end of the 21st century. A 1.5°C increase in average global surface temperature from pre-industrial greenhouse gas emissions levels would significantly change weather patterns, sea-levels, threatened ecosystems, and other climate-change-related instabilities. (IPCC, 2018)
The 1.5°C rise in global average temperatures coincides with Hawaii’s continued warming projections of +2.2 to 2.8°C for high emissions scenarios by 2085. (Keener et al., 2013)
Sea-level rise is one Hawaii’s biggest concerns. With ice caps melting at unprecedented rates, Hawaii’s sea level have been rising with increased frequency at 1 inch every 4 years. High sea levels impact coastal erosion, increases inland flooding, and increases risk for salt-water inundation into our coastal freshwater resources. Sealevel rise will impact Hoi. A 6-foot sea level rise will inundate about 1000 feet into the site. Sea-level rise will increase the water table line and affect stormwater detention capabilities. Sea-level rise will also impact crop compatability, varieties of currently cultivated kalo (Colocassia esculenta) may have to be converted to brackish water tolerant varieties.
Expected water quality impairments and water capturing opportunity losses are further exacerbated by urban development pressures and a heavy reliance on conventional gray stormwater infrastructure systems. The City and County of Honolulu in 2017 released the Storm Water BMP Guide for New and Redevelopment that encourages adaptive measures to incorporate green infrastructure to alleviate stress from the current extensive and aging pipe and drain gray stormwater infrastructure (City and County

of Honolulu, 2017.) Green infrastructure mimics pre-industrial hydrological systems’ functions to encourage ground infiltration, groundwater recharge, improve stormwater mitigation, decrease pollutant and sediment discharge, increase water quality, and other ecosystem services (University of Arkansas, 2010.)
Hoi is the receptacle for the nonpoint source pollution collected from the the upland suburban communities via the Heʻeia and Puolena Stream. While primarily viewed as productive landscapes, loʻi wai systems also perform as biofiltration ponds improving water quality as it irrigates the loʻi kalo. Loʻi kalo systems typically retain water for approximately 15-40 hours and increase sediment and nutrient retention ecosystem services. Increased hydraulic residence time in loʻi kalo systems will abate stormwater events and allow for more biological nutrient filtration.
In 2019, Kākoʻo ʻŌiwi saw continued growth through sustainable farming, increased educational visits, and community involvment with mālama ʻāina practices. Kākoʻo ʻŌiwi have successfully reclaimed over 20 acres of wetland by clearing invasive mangrove forests and other species. Kākoʻo ʻŌiwi planted over 1,000 native plants and the rehabilitation of 4 native endangered wetland birds. While Kākoʻo ʻŌiwi continues to successfully rehabilitate native ecosystems and reconnect communities to biocultural resources, financial operations still operate under a deficit. (Kākoʻo ʻŌiwi, 2019) Efforts to mitigate operational costs include installing a 3410-watt photovoltaic system to supply energy to the poi mill at the cost of $10,327. The return on investment would be realized 15 years. A diversified crop economic return study projected a 20 year combined profit range from 6.33 million USD to 16.46 million USD. (Bremer et al. 2018)
Additional ahupuaʻa-scale inventory also informed potential design considerations.












































405-acres is a very large site. To get a sense of scale, a series of scale comparison exercises were utilized to gain an idea of how large the site is.

















































































































































































































































































































































































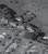
Hoi, 1928

1928 - Figure ground of remnant kuauna, kua’iwi, and kuapa
As said earlier, the loʻi wai network in Heʻeia was one of the most extensive on Oʻahu. This historical abundance could still be seen in the 1920s through aerial documentation.
In 1928, much of the loʻi wai infrastructure was still in tact. While some of the taro pond fields were being used to cultivate rice, the infrastructure was retrofitted and maintained similar form and function.




After rezoning laws in the 1950s from agricultural to urban land designations and a 100-year flood, the lo’i (ponding fields) went fallow. The 1970s saw an influx of subdivision and golf course proposals. Many developers saw the He’eia wetlands as an underutilized area of land that was prime for urban development. Developers believed that since the land was not being cultivated, the land no longer served a societal benefit. In a 1975 masterplan proposal, Hoi was proposed to become a bustling suburban development with 5,020 residences, streets poured over remanant agricultural pathways, an elementary school, a strip mall and movie theater. There was an additional proposal to develop a small-craft marina in the He’eia fishpond.


Hoi, 2020

2020 - Figure ground of remnant kuauna, kua’iwi, and kuapa
Today, with the stewardship of Kākoʻo ʻŌiwi and the help of many volunteers, 6 acres of loʻi kalo have been restored, and



As stated earlier, the loʻi wai system is the backbone to biocultural land management in Hoi. Loʻi wai are generally characterized by gravity-fed irrigation that flows through engineered kalo (taro, Colocasia esculenta) growing terraces. Loʻi wai provide many of the same ecosystem services as modern green stormwater infrastructure with the added benefit of food production and cultural resilience.
The scale and methodology of loʻi agricultural systems are variable. Some loʻi systems have only one pond, but others are scaled to irrigate many ponds. Typically, at the beginning of the system is the kahawai.
The kahawai is the riparian zone. An undisturbed kahawai network is naturally vegetated with stormwater-adapted plants that filter sedimentation throughout the stream. The kahawai is diverted through a series of dry stack stone structures called manowai.
The manowai aid with slowing peak stormwater flow and are constructed to absorb the impact but also collapse during a heavy storm event to prevent peak flow from inundating the agricultural system. The manowai redirects the water to the poʻowai.
The poʻowai is the head of the irrigated agrarian system.
An ʻauwai is an irrigated ditch that flows to the makawai. The makawai are the entry and exit points that connect the loʻi ponds that are separated by kuauna (raised embankments.)
The kuauna were typically vegetated with wetland plant species or other multi-story agroforestry crops that have biofiltration properties. The ponds are where the kalo, Colocasia esculenta, are cultivated. Loʻi kalo terracing systems increase the hydrological detention rate and provides more opportunity for groundwater infiltration. At the end of the irrigated system is the hoʻiwai.
Typically, the hoʻiwai is where the water is returned to the kahawai, stream however in the case of Hoi, the hoʻi wai returns the borrowed water back to the nenelu, wetland before reaching the estuary.





Loʻi wai provide many ecosystem services. While loʻi wai function primarily as an irrigation system, the ʻauwai redistributes water and increases groundwater recharge, abates shocks caused by flooding events, and creates synanthropic habitats. Synanthropic species, “refers to wildlife that live near and benefit from habitats created by humans.” A common example could be the dove in dense urban developments. Due to loʻi kalo being cultivated at different times, ecosystem services are contingent on the stage of cultivation. Native wetland birds will occupy different ponds at different stages of cultivation for different purposes. Over time, birds recognize that the farmers are increasing habitat function by pulling weeds, fertilizing, tilling, and adjusting water levels. Hoi Farmers are creating more hospitable environments for native wetland birds by increasing habitable zones and increasing access to food resources. (Opie, 2020)
Loʻi wai systems also create diverse productive zones. While the cornerstone of a loʻi kalo system is kalo, it was common for aquacultural practices to be incorporated within loʻi ponds. Common fish that were cultivated in loʻi kalo were ʻoʻopu (gobi), awa (milk fish), ʻanae (mullet), ʻamaʻama (striped mullet), āholehole, and ʻōpae (freshwater shrimp.) Limu, seaweed was also cultivated and managed as fish feed. The kuauna, embankments, also provided additional growing area. Kalo was the staple plant, however the harvest cycle varies between 8-12 months. Crops grown on the kuauna were important to maintain a consistent food source inbetween crop cycles. (Kamakau, 1992) Loʻi wai also provide opportunities for increased social connectivity. From observations on site, loʻi wai connects people through hana, the work. Communication and cooperation for tending to the land plays an integral part to building relationships with your community and your biocultural resource. Social connections are an important reason for return volunteers. Produce is often harvested and shared with volunteers, and volunteers take it home and share with their families further extending the social impacts of the loʻi wai. (Bremer et.al, 2018)







kuauna (kuāuna). 1. Bank of an irrigated taro patch. Horner v. Kumuliilii, 10 Haw. 174, 182 (1895). 2. Taro patch bank. Enos v. Wa Sing, 4 Haw. 457, 458 (1882). 3. The term is derived from the fact that the banks were made solid when built by beating with the butt ends of coconut leaf stems (kuʻau) (ESH). 4. Bank or border of a taro patch; stream bank (PE). 5. The bank of a stream; the side or border of a taro patch, kuaio (AP).
(Lucas, 1995)

Kuauna are the embankments that organized the loʻi kalo system. Kuauna acted as the fascial network that simultaneously connected, nourished, and improved system performances by being the carrier for wai, water.
Kuauna were constructed by utilizing the excavated material from the loʻi kalo beds to fill and define the embankment edger condition.
The kuaunaʻs foundational components largely consisted of stones and organic material.
Laʻolaʻo were pilings made of wooden sticks that were pounded into the subgrade for additional structural integrity.
Niho (tooth) stones were stacked strategically to be locked in place and hold the kuauna together.
Kipapa (paving) may have been laid in the forrm of stone, sand, coral, grass etc.
Kuauna provided many ecological benefits to the loʻi wai system, but primarily benefited ecosystem services by redistributing water flow and increasing groundwater infiltration. Over time, the kuauna could become covered by sediment and became vegetated. Kuauna also provided crop protection for taro plants. Kuauna formed a windbreak and sheltered kalo from windburn. Kuauna function as the primary traversable landscape between loʻi kalo and the extended communities.








kuakua (kuakua).
1. The kua-kua was a broad kuauna embankment between two wet patches which was kept under cultivation (DM). 2. Dry land patch cultivated by native tenant, smaller in size than a hakiona (SAM). 3. Embankment between taro patches that was kept under cultivation (PE). 4. A small section of land, see also kōʻele or hakuone (AP).
(Lucas, 1995)
Kuakua are wider constructed kuauna. Construction methodologies are quite similar except for the introduction of additional growing area. Kuakua’s broadways afforded significant areas to be outplanted with additional food and medicine crops.
The kuakua also provided an additional flood mitigation property. Due to the kuakua’s broadened pathways the kuakuatype embankments could withstand greater floods and not require as frequent rebuilding.














Inspired by the performances of traditional land management practices, Kākoʻo ʻŌiwi looked to rehabilitate the site of Hoi by applying the same values and principles.
From 2010-2020, Kākoʻo ʻŌiwi recultivated approximately six acres of loʻi kalo, cleared 20 acres of mala for dryland farming, and removed six acres of invasive mangrove.
Mangroves in Hawaiʻi are designated as an invasive species. The mangroves grow three times the size in Hawaiʻi than in their native habitats and outcompete native wetland species. The mangrove is considered a highly invasive alien species in Hawaii and contributes to decreased water quality and increased nutrient loading, sedimentation, hyper salinization etc.
In the Heʻeia Uli Conservation Action Plan, Kākoʻo ʻŌiwi and their partners established a set of actionable items to improve and protect the loʻi wai system.
Through their resourcefulness, Kākoʻo ʻŌiwi restored and reconstructed kuauna by utilizing recycled materials. Retired zipper lane joints are scattered throughout the wetland site, and some are the foundational fill of the embankments. The fallen mangrove logs are also used to create fill for the kuauna.
hakahaka base for structural integrity, zipper lane joint
hakahaka fallen mangrove logs and fill
sand, soil, crushed aggregate
niho stones interlocking “teeth” stones
Under the stewardship of Kākoʻo ʻŌiwi, Hoi the 405-acre wetland site is being cultivated to rehabilitate 180-acres of unmanaged wetland into productive biocultural loʻi kalo landscapes.
In 2020, Kākoʻo ʻŌiwi and their partners drafted a Conservation Action Plan outlining actionable items to protect and rehabilitate the loʻi wai network. The loʻi wai is the cornerstone of the productive wetland system. The loʻi wai includes system’s kahawai (streams,) ʻauwai (irrigation channels,) kuauna (embankments,) manowai (passive damming structures,) makawai (embankment water distribution weep holes,) and the hoʻiwai (effluent point source.) In addition to climate change, the CAP identified the following additional threats and potential degree of impact to the loʻi wai system: invasive plants, very high; loss of ʻike (ancestral knowledge,) very high; invasive animals, medium, erosion/sedimentation, medium, poor land use, medium, point & non-point sources of pollution, high, flooding, medium, modified hydrology, high, invasive aquatic species, medium. Climate change was given a very high threat rating.
Hoi is part of a larger coastline that frames the Kāneʻohe Bay. Unprecedent anthropogenic carbon emissions are increasing global warming temperatures. Currently the IPCC’s “business as usual” scenario predicts a 3.2 feet sea level rise by 2100. A 3.2 feet sea level rise for Hoi will increase salt inundation into the wetlands, raise water table height, increase vulnerability to swells and tidal fluctuations etc. Additionally to sea level rise, a 0.5°C global temperature increase will bring intensified and more frequent storm and flooding events. Climate change will have various subsequent impacts and severities on the additional aformentioned threats such as erosion/ sedimention, invasive species, modified hydrology, and pollution.















































































































































































































































































































































































































































































































01


02


04
03



The design exercise for this study identified 3 key sites for design proposal, and an additional site for additional data inventory.
01. Pilot Site - Kealohi Wetlands
This site houses the existing wetland restoration site. This site is very vulnerable to sea level rise
02. Precedent Study - Restored Lo’i Site
Kākoʻo ʻŌiwi recultivated approximately 6 acres of loʻi kalo and the ʻauwai system. Site 02 is an excellent resource to study current social use of kuauna.
03. Pilot Site - King Intermediate Connection
A stonesthrow away, King Intermediate School is within immediate access to Hoi. However the lack of a formal entry experience inhibits opportunities to build connections between biocultural land management education and the intermediate school.
04. Pilot Site - Alaloa St. Entry
Most of the Heʻeia Stream has been hardened and realigned. Pilot Site 04 is the gateway into the wetland / loʻi kalo system. The Alaloa St. Entry has the potential to be a great entrypoint to the wetland area while providing educational programming for stormwater management and biocultural, mālama ʻāina rehabilitation efforts.







































































































































































































































































01. KEALOHI WETLANDS
EXISTING CASE STUDY & SLR ADAPTATION PROPOSAL


When the source of the water is dirty, the dirt is carried to the sea.
Lessons and observations from Kākoʻo ʻŌiwi
The staff and volunteers of Kākoʻo ʻŌiwi have cleared almost six acres of invasive mangrove species. The mangroves outcompete native wetland plants. If left to grow unmanaged, mangroves choke out native wetland ecosystems, inhibit waterflow and disconnect the muliwai (estuarine) performances.


The muliwai at Hoi is integrated with the Heʻeia fishpond and the freshwater-saltwater relationship is necessary to return greater carrying capacity to the Heʻeia fishpond.
One of the major lessons learned from the existing kuauna practices is how kuauna cultural practitioners plan the slope of the embankments to provide a very specific estuarine ecosystem service. Kuauna are masterfully sloped to manage floodplain flow patterns. Kuauna that slope more quickly into the floodplain allow floodwaters to be directed away from the fishpond walls.
Kuauna in this area are primarily constructed from fallen mangrove trunks, aggregate, and niho stones.

This particular area very susceptible to 3ʻ SLR. The proposed kuauna interpretations respond to the SLR by converting into a fishpond wall over time. A boardwalk is also proposed to increase accessibility. Pilings from the deck would also add structural integrity to the kuauna berms.


















02. LO’I KALO AT HOI
EXISTING CASE STUDY



Plant the taro stalks while there is rain.
Lessons and observations from Kākoʻo ʻŌiwi
Almost six acres of Hoi have been rejuvenated by Kākoʻo ʻŌiwi into fully operational loʻi kalo. Oahuʻs kalo production would double if 180 acres of Hoiʻs wetlands are recultivated into loʻi kalo.
The kuauna in this portion of the site are fully integrated into the daily responsibilities of maintaining the loʻi wai system. This project observed the performances of kuauna on this site. Kuauna that are generally anchored perpendicular to the floodplain flow are thicker for structural integrity in the event of 100 year storm.
100 year storms are becoming more frequent. season flash floods inundate the wetlands and completely submerge the agricultural loʻi kalo systems.
In addition to hydrological resilience performances, the kuauna in this area are activatd by social use. Volunteers would use the kuauna to process kalo by cleaning them in the ʻauwai, or by sorting and processing the huli, kalo slips.











03. KING INTERMEDIATE CONNECTION
LO’I WAI REJUVENATION PROPOSAL
Not all knowledge is housed within one school.
Lessons and observations from Kākoʻo ʻŌiwi
This area sits adjacent to a townhome subdivision and is within very close proximity with King Intermediate school
The site has a dramatic topography with a steep 30 foot face. Carrying the same goals from Site 02, this project incorporats kuaʻiwi (dryland stack wall agricultural infrastructure) to flatten beds and create a gentle switchback descending into proposed loʻi kalo field.

This area is on the eastern boundaries of the site. The proposed kuaʻiwi switchbacks descend at a grade less than 5%. Remembering the observed strategy of kuauna thickness to perpendicular flow direction, the proposed loʻi wai system follows this similar logic. .













04. ALALOA STREET STORMWATER PARK ENTRY
STORMWATER PARK PROPOSAL


When the heavens cry, the earth lives.
This ruderal site is the outcome of channelizing stream beds and allowing for invasive species grasses to dominate the landscape.

This area is the connection from the channelized stream flowing directly into our loʻi kalo agricultural fields.
Because of its proximity to a very channelized stream. An overhead catwalk is proposed to allow the park to become floodable and still accessible for people to come into safe conversation with the kalo.
The design proposal introduces the notion of a canopy walk that connects to the proposed agroforestry, stormwater learning classroom and loop into the site. The design proposed a large piling to reinforce the embankment condition.
Due to the non-point source pollution the loʻi in the site will not be used for growing food. This is becasuse loʻi kalo are bioaccumulators and store the toxicity in the flesh of the plant. The loʻi will be outplanted to support the wetland areas for propagation and outplanting.
















Historic pre-contact biocultural footprint

Contemporary land-use

This project emphasized the effectiveness of biocultural land reclaimation. Kākoʻo ʻŌiwi’s practicies prove that traditional land management practices, mālama ʻāina, are influencing positive ecological and social responses such as: increased biodiversity, cleaner water, increased food production, familylevel food security etc.
Over thirty-percent of Oʻahu’s land is designated for urban use. Reclaiming and adapting urban landscapes to incorporate traditional malama ʻāina land management practices is imperatiive for Oʻahu, Hawaiʻi, and other coastal urbanized areas to respond to the effects of climate change.
Abbott, I. A. (1992). La’au Hawai’i: Traditional Hawaiian Uses of Plants. Bishop Museum Press.
Bremer, L. L. (2018). Biocultural Restoration of Traditional Agriculture: Cultural, Environmental, and Economic Outcomes of Loʻi Kalo Restoration in Heʻeia, Oʻahu. Sustainability.
Camvel, D. A. (2020, May). HOʻOULU ‘ĀINA: RESTORATION IN THE HEʻEIA AHUPUAʻA. Honolulu, Hawaiʻi: University of Hawaiʻi at Mānoa.
Cook, A., Grothaus, C., Kehoe, K. A., & Valentin, M. R. (2010). Closing the Gap “Disparity in Native Hawaiian Cardiac Care.” Hawaii Medical Journal, 7–10. https://www.ncbi.nlm.nih.gov/pmc/articles/PMC3158442/
Corporation, N. H. L., University of Hawaii at Manoa Committee for the Preservation and study, & Lucas, N. P. F. (1995). A Dictionary of Hawaiian Legal Land-Terms. Univ of Hawaii Pr.
Goodyear-Ka’ōpua, N. (2009). Rebuilding the ‘Auwai: Connecting Ecology, Economy and Education in Hawaiian Schools. AlterNative: An International Journal of Indigenous Peoples, 5(2), 46–77. https://doi. org/10.1177/117718010900500204
Hawaiʻi Community Development Authority. (2021). Heʻeia Community Development District Master Plan [April 21 Draft]. Honolulu: Hawaii Community Development Authority. Kākoʻo ʻŌiwi. (2010, August). Māhuahua ʻAi o Hoi - Heʻeia Wetland Restoration, Strategic Plan 2010-2015. Māhuahua ʻAi o Hoi - Heʻeia Wetland Restoration, Strategic Plan 2010-2015. Heʻeia, Hawaiʻi, Honolulu: Kākoʻo ʻŌiwi.
Keener, V. W., Marra, J. J., Finucane, L., Spooner, D., & Smith, M. H. (2012). Climate Change and Pacific Islands: Indicators and Impacts. Report for the 2012 Pacific Islands Regional Climate Assessment. Island Press. Kurashima, N., Fortini, L., & Ticktin, T. (2019). The potential of indigenous agricultural food production under climate change in Hawaiʻi. Nature Sustainability, 2(3), 191–199. https://doi.org/10.1038/s41893-019-0226-1
Lee, J., Geminiani, V., & Su, J. (2012). The State of Poverty in Hawai‘i & How to Restore Our Legacy of Fairness. Hawaii Appleseed Center for Law and Economic Justice.
Mathur, A. (2009). Soak: Mumbai in an Estuary. Rupa Publications.
Mishan, L. (2019, November 8). On Hawaii, the Fight for Taro’s Revival. New York Times. https://www.nytimes. com/2019/11/08/t-magazine/hawaii-taro
Native Hawaiians and Other Pacific Islanders | Health Disparities | NCHHSTP | CDC. (2020, September 14). Www.Cdc.Gov. https://www.cdc.gov/nchhstp/healthdisparities/hawaiians.html
Oliveira, K. R., & Wright, E. K. (2016). Kanaka ʻ ō iwi methodologies: Moʻolelo and metaphor. Honolulu: University of Hawaiʻi Press.
Opie, E. (2020, July 31). Birds and people share a home in Heʻeia – He’eia NERR. Heeianerr.Org. https://heeianerr.org/birds-and-people-share-a-home-in-he%CA%BBeia/
Or , K. (2016). Toward an Urban Ecology: SCAPE / Landscape Architecture (Illustrated ed.). The Monacelli Press.
Pukui, M. K. (1983). Olelo No’Eau: Hawaiian Proverbs and Poetical Sayings (BERNICE PAUAHI BISHOP MUSEUM SPECIAL PUBLICATION) (English and Hawaiian Edition) (Reprint ed.). Bishop Museum Pr.
Saunders, W. (2012). Designed Ecologies: The Landscape Architecture of Kongjian Yu (1st ed.). Birkhauser Architecture.
Townscape, INC. (October 2018). The Heʻeia Community Development District Plan & Rules. Honolulu: Hawaiʻi Community Development Authority.
University of Hawaii at Manoa, Stupplebeen, D. A., Quensell, M., Peltzer, K., & Pirkle, C. M. (2018). Food Insecurity in Hawaiʻi Using a Population-Based Sample: A Data Brief. University of Hawaiʻi at Mānoa.
Waldheim, C. (2016). Landscape as Urbanism: A General Theory. Princeton University Press.
Wol , J. (2003). Delta Primer: A Field Guide to the California Delta (Illustrated edition). William K Stout Pub.
A CAPSTONE DESIGN RESEARCH PROJECT SUBMITTED IN PARTIAL FULFILLMENT OF THE PLAN B REQUIREMENTS FOR THE DEGREE OF
MASTER OF LANDSCAPE ARCHITECTURE
MAY 2021
BY MATTHEW HIGA
CAPSTONE COMMITTEE:
JUDITH STILGENBAUER, CHAIRPERSON
PHOEBE WHITE PRIYAM DAS
KEYWORDS: BIOCULTURAL, AGROECOLOGY, KUAUNA, EMBANKMENTS, HAWAII
