OR - 63151 NW Vista Meadow Ln, Bend

Page 26

HOMEBOOK 63151 NW Vista Meadow Ln Bend, OR 97703 email cs.deschutes.or@firstam.com | phone 541.382.4201 First American Title Insurance Company, and the operating divisions thereof, make no express or implied warranty respecting the information presented and assume no responsibility for errors or omissions. First American, the eagle logo, First American Title, and firstam.com are registered trademarks or trademarks of First American Financial Corporation and/or its affiliates. ©2020 First American Financial Corporation and/or its affiliates. All rights reserved. NYSE: FAF 39207591219 RE/MAX Key Properties Brent Landels | 541.550.0976 | brent@cascadiagrp.com Angie Mombert | 541.408.3543 | angie@cascadiagrp.com

Deschutes County Property Information

Report Date: 3/13/2023 3:38:52 PM

The information and maps presented in this report are provided for your convenience. Every reasonable effort has been made to assure the accuracy of the data and associated maps. Deschutes County makes no warranty, representation or guarantee as to the content, sequence, accuracy, timeliness or completeness of any of the data provided herein. Deschutes County explicitly disclaims any representations and warranties, including, without limitation, the implied warranties of merchantability and fitness for a particular purpose. Deschutes County shall assume no liability for any errors, omissions, or inaccuracies in the information provided regardless of how caused. Deschutes County assumes no liability for any decisions made or actions taken or not taken by the user of this information or data furnished hereunder.

Account Summary

Account Information

Mailing Name:

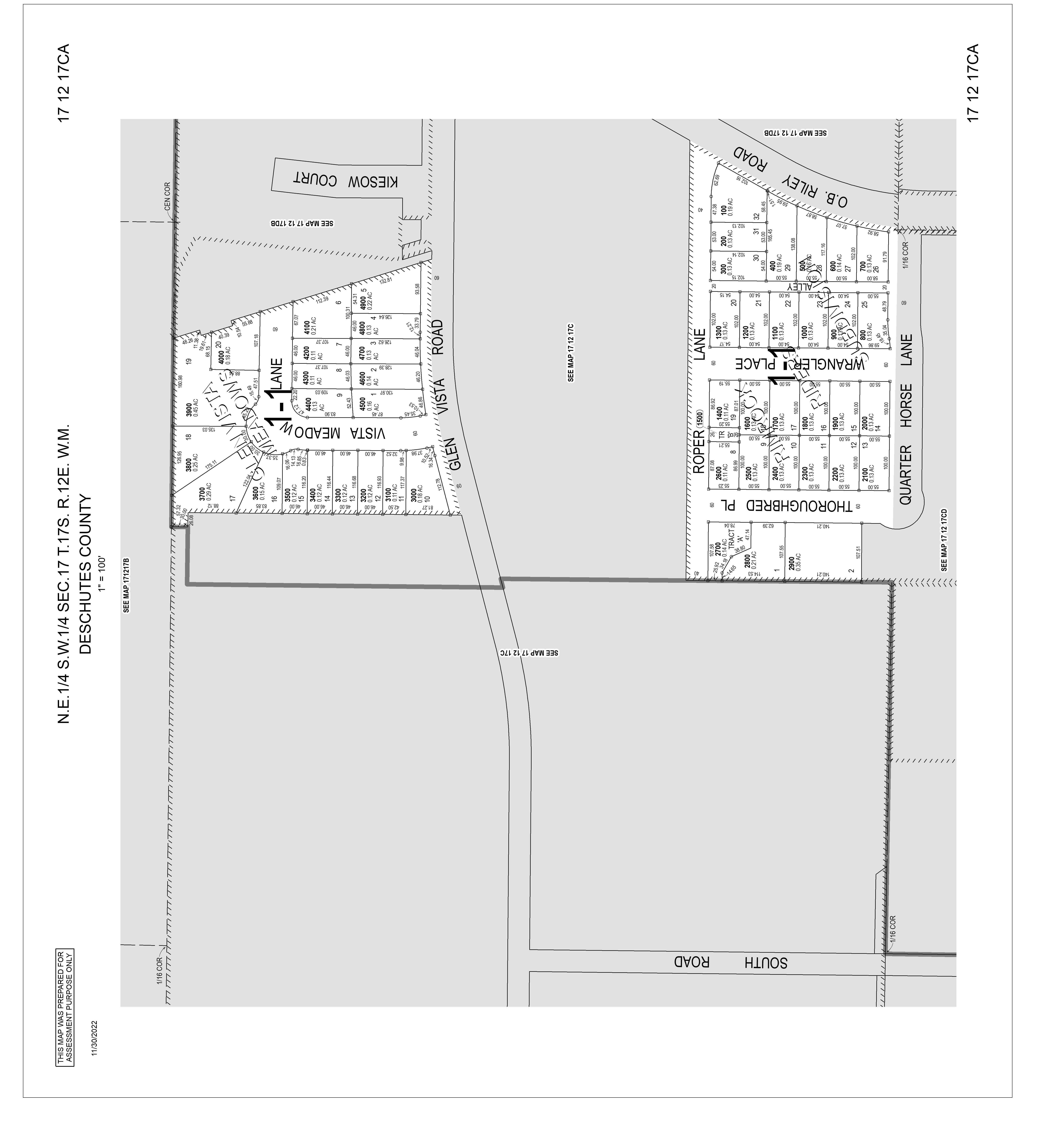
Map and Taxlot:

Account:

Tax Status:

Situs Address:

Property Taxes Assessment

STONE BRIDGE HOMES NW LLC

171217CA03700

Ownership

Mailing Address:

STONE BRIDGE HOMES NW LLC

4230 SW GALEWOOD ST #100

Subdivision:

Block: 17 Lot:

Assessable

286444 63143 NW VISTA MEADOW LN, BEND, OR 97703

LAKE OSWEGO, OR 97035

Real Market Values as of Jan. 1, 2022

Tax Code Area: Current Tax Year: 1001 0.29

GLEN VISTA MEADOWS

Assessor Acres:

Property Class: 191 -- RESIDENTIAL

Warnings, Notations, and Special Assessments

Valuation Land Structures Total

Current Assessed Values:

Maximum Assessed

Assessed Value

Veterans Exemption

$0

Review of digital records maintained by the Deschutes County Assessor’s Office, Tax Office, Finance Office, and the Community Development Department indicates that there are no special tax, assessment or property development related notations associated with this account. However, independent verification of the presence of other Deschutes County tax, assessment, development, and additional property related considerations is recommended. Confirmation is commonly provided by title companies, real estate agents, developers, engineering and surveying firms, and other parties who are involved in property transactions or property development. In addition, County departments may be contacted directly to discuss the information.

Sales History

Disclaimer Sale Date Seller Buyer Sale Amount Sale Type Recording Instrument 11/17/2022 VENTURE PROPERTIES INC STONE BRIDGE HOMES NW LLC $0 06-GRANTEE IS RELATED/FRIENDS/BUSINES S ASSOCIATES 2022-41352
Ownership Name Type Name Ownership Type Ownership Percentage OWNER STONE BRIDGE HOMES NW LLC, OWNER 100.00% Service Providers
Deschutes County Property Information Report,
1
Please contact districts to confirm.
page
STATEMENT OF TAX ACCOUNT DESCHUTES COUNTY TAX COLLECTOR DESCHUTES SERVICES BUILDING BEND OR 97703 (541) 388-6540 STONE BRIDGE HOMES NW LLC 4230 SW GALEWOOD ST 100 LAKE OSWEGO OR 97035 13-Mar-2023 286444 Tax Account # Account Status Roll Type Situs Address A Real 63143 NW VISTA MEADOW LN BEND OR 97703 Tax Summary Tax Year Tax Type Total Due Current Due Interest Due Discount Available Original Due Due Date 1001 Mar 13, 2023 Lender Name Loan Number Property ID Interest To $0.00 $0.00 $0.00 $0.00 Total Deschutes County Property Information Report, page 3 (For Report Disclaimer see page 1)
De sc h u te s C o u n ty GIS De sc hu t es Cou nt
er
I nf orm at i on - Di al
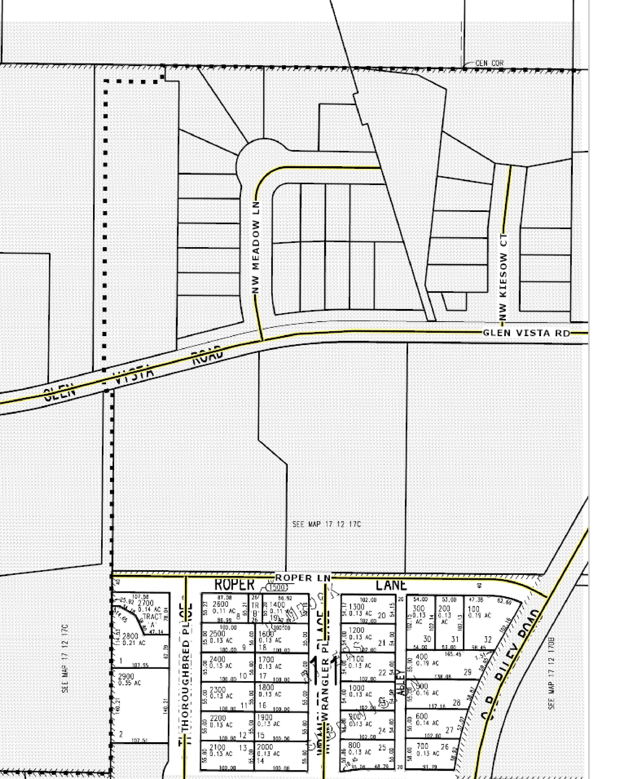
Map and Ta x l ot: 171 21 7C A 03700 Deschutes County Property Information Report, page 5 (For Report Disclaimer see page 1)
y P rop
t y
Roa d Map
First American Title Insurance Company, and the operating divisions thereof, make no express or implied warranty respecting the information presented and assume no responsibility for errors or omissions. First American, the eagle logo, First American Title, and firstam.com are registered trademarks or trademarks of First American Financial Corporation and/or its affiliates. ©2018 First American Financial Corporation and/or its affiliates. All rights reserved. | NYSE: FAF | 39211701018 PROPERTY MAPS
Deschutes County Property Information Report, page 4 (For Report Disclaimer see page 1)
First American Title Insurance Company, and the operating divisions thereof, make no express or implied warranty respecting the information presented and assume no responsibility for errors or omissions. First American, the eagle logo, First American Title, and firstam.com are registered trademarks or trademarks of First American Financial Corporation and/or its affiliates. ©2018 First American Financial Corporation and/or its affiliates. All rights reserved. | NYSE: FAF | 39211701018 CC&R’S AVAILABLE UPON REQUEST
First American Title Insurance Company, and the operating divisions thereof, make no express or implied warranty respecting the information presented and assume no responsibility for errors or omissions. First American, the eagle logo, First American Title, and firstam.com are registered trademarks or trademarks of First American Financial Corporation and/or its affiliates. ©2018 First American Financial Corporation and/or its affiliates. All rights reserved. | NYSE: FAF | 39211701018 ALTOS MARKET REPORT
First American Title Insurance Company, and the operating divisions thereof, make no express or implied warranty respecting the information presented and assume no responsibility for errors or omissions. First American, the eagle logo, First American Title, and firstam.com are registered trademarks or trademarks of First American Financial Corporation and/or its affiliates. ©2018 First American Financial Corporation and/or its affiliates. All rights reserved. NYSE: FAF 39211701018 SCHOOL REPORT
Subject: 63151 NW Vista Meadow Ln Bend, OR 97703 Report Generated: 3/13/2023 Elementary School High School Middle School North Star Elementary School 0.70 Miles 63567 N.W. Brownrigg Road, Bend 97703 Sky View Middle School 1.74 Miles 63555 Northeast 18th Street Bend, OR 97701 Mountain View Senior High School 2.90 Miles 2755 Northeast 27th Street Bend, OR 97701 First American Title Insurance Company makes no express or implied warranty respecting the Information presented and assumes no responsibility for errors or omissions. FIRST AMERICAN, the Eagle logo, and FIRST AMERICAN TITLE INSURANCE COMPANY are trademarks owned by First American Financial Corporation. Information is provided by Home Junction. https://www.homejunction.com/ School information is copyrighted and provided by GreatSchools.org. https://www.greatschools.org
School Attendance

Alternate Education Options

Subject: 63151 NW Vista Meadow Ln Bend, OR 97703 Report Generated: 3/13/2023 Private Schools Public Schools *within 5 miles Realms Middle School 0.48 Miles 63175 O. B. Riley Road Bend, OR 97701 Bend International School 0.94 Miles 63020 O. B. Riley Road Bend, OR 97701 Desert Sky Montessori 1.24 Miles 150 Northeast Bend River Mall Drive Bend, OR 97701 Skyline High School 1.73 Miles 20730 Northeast Brinson Boulevard Bend, OR 97701 Realms High School 1.73 Miles 20730 Northeast Brinson Boulevard Bend, OR 97701 Marshall High School 2.74 Miles 1291 Northeast 5th Street Bend, OR 97701 The Waldorf School of Bend 2.15 Miles 2150 Northeast Studio Road Bend, OR 97701 Cascades Academy of Central Oregon 2.16 Miles 2150 Northeast Studio Road Bend, OR 97701 New Leaf Academy 2.23 Miles PO BOX 6454 Bend, OR 97708 Trinity Lutheran School 2.69 Miles 2550 NE BUTLER MARKET RD Bend, OR 97701 Coic - Bend 2.99 Miles 334 Northeast Hawthorne Avenue Bend, OR 97701 Coic - La Pine 2.99 Miles 334 Northeast Hawthorne Avenue Bend, OR 97701 Central Oregon Intergovrnmental 2.99 Miles 334 Northeast Hawthorne Avenue Bend, OR 97701 Coic - Prineville 2.99 Miles 334 Northeast Hawthorne Avenue Bend, OR 97701 Coic -Redmond 2.99 Miles 334 Northeast Hawthorne Avenue Bend, OR 97701 Obsidian Trails 3.04 Miles 409 NW Franklin Ave Bend, OR 97701 St. Francis of Assisi School 3.15 Miles 2450 Northeast 27th Street Bend, OR 97701 J Bar J Learning Centers 3.63 Miles 62895 Hamby Road Bend, OR 97701 New Vision Wilderness West Coast 3.66 Miles 160 Southwest Scalehouse Loop Bend, OR 97702 Eastmont Community School 3.76 Miles 62425 Eagle Road Bend, OR 97701 Deschutes River Montessori School 3.84 Miles 520 Southwest Powerhouse Drive Bend, OR 97702 Seven Peaks School 4.37 Miles 19660 Mountaineer Way Bend, OR 97702 J Bar J Learning Ctrs Sisters Academy 4.48 Miles 63325 Silvis Road Bend, OR 97701 Three Sisters Adventist Christian 4.59 Miles 21155 Tumalo Road Bend, OR 97701 First American Title Insurance Company makes no express or implied warranty respecting the Information presented and assumes no responsibility for errors or omissions. FIRST AMERICAN, the Eagle logo, and FIRST AMERICAN TITLE INSURANCE COMPANY are trademarks owned by First American Financial Corporation. Information is provided by Home Junction. https://www.homejunction.com/ School information is copyrighted and provided by GreatSchools.org. https://www.greatschools.org

OREGON AT-A-GLANCE SCHOOL PROFILE

North Star Elementary

PRINCIPAL: Kevin Gehrig | GRADES: K-5 | 63567 N.W. Brownrigg Road, Bend 97703 | 541-355-1000

Academic Progress

2021-22

REGULAR ATTENDERS

Students who attended more than 90% of their enrolled school days. 68%

Academic Success

ENGLISH

MATHEMATICS

Students meeting state grade-level expectations.

INDIVIDUAL STUDENT PROGRESS

Year-to-year progress in English language arts and mathematics.

School Goals

Our promise is for every student to be known by name, strength and need; and to graduate ready for college, career and citizenship. Our focus is on people, starting with our teachers and school staff and extending to students, families and community partners. We ask teachers, school leaders and staff to hold our students to high expectations, to model those standards in their own behavior and to provide all students the support they need to succeed.

10.2.3

State Goals

The Oregon Department of Education is partnering with school districts and local communities to ensure a 90% ontime, four year graduation rate by 2025. To progress toward this goal, the state will prioritize efforts to improve attendance, provide a well-rounded education, invest in implementing culturally responsive practices, and promote continuous improvement to close opportunity and achievement gaps for historically and currently underserved students.

Data not available in 2021-22

SCIENCE

Students meeting state grade-level expectations.

Safe & Welcoming Environment

Bend-La Pine Schools is committed to creating a safe and welcoming environment for all students. Our strategic priorities include

· Maximizing safety for students, staff, and the community.

· Ensuring physically and psychologically safe, secure and orderly learning environments.

· Building upon our foundation of prevention, intervention, emotional health and crisis preparedness.

10.2.3

Students We Serve Student Enrollment 284 DEMOGRAPHICS American Indian/Alaska Native Students 1% Teachers 0% Asian Students 1% Teachers 0% Black/African American Students 0% Teachers 0% Hispanic/Latino Students 14% Teachers 5% Multiracial Students 4% Teachers 0% Native Hawaiian/Pacific Islander Students <1% Teachers 0% White Students 80% Teachers 95% Ever English Learners 7% Languages Spoken 2 Students with Disabilities 8% Required Childhood Vaccinations 93% Free/ Reduced Price Lunch >95% *<10 students or data unavailable School Environment CLASS SIZE Median class size. 20.5 Oregon average 22
Oregon
average 64%
ARTS Students
state grade-level expectations. 54% Oregon average 44%
LANGUAGE
meeting
52% Oregon
36%
average
50% Oregon
31%
average
School Website: www.bend.k12.or.us Eligibility for Free/Reduced Price Lunch expanded in 2020-21, for more information please visit: www.oregon.gov/ode/schools-and-districts/reportcards/reportcards/Pages/Accountability-Measures.aspx

87%

North Star Elementary

Outcomes

REGULAR ATTENDERS

ENGLISH LANGUAGE ARTS

MATHEMATICS

Yes

Same principal in the last 3 years

About Our School

BULLYING, HARASSMENT, AND SAFETY POLICIES

Bend-La Pine Schools is committed to creating a safe and welcoming environment for all students. Our strategic priorities include

· Maximizing safety for students, staff, and the community.

· Ensuring physically and psychologically safe, secure and orderly learning environments.

· Building upon our foundation of prevention, intervention, emotional health and crisis preparedness.

10.2.3

EXTRACURRICULAR ACTIVITIES

Bend-La Pine Schools values extracurricular activities, including interscholastic sports, academic clubs, service clubs and more. To learn more about the activities offered at our school, connect with our staff or visit our school website for details.

10.2.3

PARENT ENGAGEMENT

We ask parents and families to partner with us in giving children the support they need to succeed at school. We ask community partners to consider committing more time and expertise. We offer numerous ways for interested families and community members to connect with our schools — through volunteering, attending school activities and events and much more.

COMMUNITY ENGAGEMENT

We offer numerous ways for interested community members and businesses to connect with our schools. We partner with local businesses and community agencies to provide students with learning opportunities. Contact our schools to learn more about ways to connect.

10.2.3

OREGON
CONTINUED 2021-22
AT-A-GLANCE SCHOOL PROFILE
Teachers
Educational assistants
Counselors/ Psychologists Average teacher retention rate
Our Staff (rounded FTE) 18
4
1
% of licensed teachers
with more than 3 years of experience 89%
American Indian/Alaska Native <10 students or data unavailable Asian <10 students or data unavailable Black/African American <10 students or data unavailable Hispanic/Latino 36% Multiracial 90% Native Hawaiian/Pacific Islander <10 students or data unavailable White 72% Free/Reduced Price Lunch 68% Ever English Learner 25% Students with Disabilities 71% Migrant <10 students or data unavailable Homeless <10 students or data unavailable Students in Foster Care <10 students or data unavailable Talented and Gifted <10 students or data unavailable Female 67% Male 69% Non-Binary <10 students or data unavailable
<10 students or data unavailable <10 students or data unavailable <10 students or data unavailable 31% <10 students or data unavailable <10 students or data unavailable 57% 54% <10 students or data unavailable 18% <10 students or data unavailable <10 students or data unavailable <10 students or data unavailable <10 students or data unavailable 48% 60% <10 students or data unavailable
<10 students or data unavailable <10 students or data unavailable <10 students or data unavailable 31% <10 students or data unavailable <10 students or data unavailable 56% 52% <10 students or data unavailable 27% <10 students or data unavailable <10 students or data unavailable <10 students or data unavailable <10 students or data unavailable 44% 60% <10 students or data unavailable
Data are suppressed to protect confidential student information. For more information please visit: www.oregon.gov/ode/schools-and-districts/reportcards/reportcards/Pages/Accountability-Measures.aspx

OREGON AT-A-GLANCE SCHOOL PROFILE

Sky View Middle School

PRINCIPAL: Julie Stroinski | GRADES: 6-8 | 63555 NE 18th St, Bend 97701 | 541-355-7600

REGULAR ATTENDERS

Students who attended more than 90% of their enrolled school days. 60%

Academic Success

ENGLISH LANGUAGE

MATHEMATICS

Students meeting state grade-level expectations.

2021-22

Academic Progress

INDIVIDUAL STUDENT PROGRESS

Year-to-year progress in English language arts and mathematics.

School Goals

Our promise is for every student to be known by name, strength and need; and to graduate ready for college, career and citizenship. Our focus is on people, starting with our teachers and school staff and extending to students, families and community partners. We ask teachers, school leaders and staff to hold our students to high expectations, to model those standards in their own behavior and to provide all students the support they need to succeed.

State Goals

The Oregon Department of Education is partnering with school districts and local communities to ensure a 90% ontime, four year graduation rate by 2025. To progress toward this goal, the state will prioritize efforts to improve attendance, provide a well-rounded education, invest in implementing culturally responsive practices, and promote continuous improvement to close opportunity and achievement gaps for historically and currently underserved students.

Data not available in 2021-22

SCIENCE

Students meeting state grade-level expectations.

Safe & Welcoming Environment

Bend-La Pine Schools is committed to creating a safe and welcoming environment for all students. Our strategic priorities include

· Maximizing safety for students, staff, and the community.

· Ensuring physically and psychologically safe, secure and orderly learning environments.

· Building upon our foundation of prevention, intervention, emotional health and crisis preparedness.

Students We Serve Student Enrollment 566 DEMOGRAPHICS American Indian/Alaska Native Students <1% Teachers 0% Asian Students 2% Teachers 0% Black/African American Students <1% Teachers 0% Hispanic/Latino Students 13% Teachers 5% Multiracial Students 4% Teachers 0% Native Hawaiian/Pacific Islander Students 0% Teachers 0% White Students 80% Teachers 95% Ever English Learners 7% Languages Spoken 5 Students with Disabilities 9% Required Childhood Vaccinations 93% Free/ Reduced Price Lunch >95% *<10 students or data unavailable School Environment CLASS SIZE Median class size. 24 Oregon average 22
Oregon
average 64%
ARTS Students
grade-level expectations. 55% Oregon average 44%
meeting state
Oregon
41%
average 28%
Oregon
38%
average 28%
School Website: www.bend.k12.or.us/SVMS Eligibility for Free/Reduced Price Lunch expanded in 2020-21, for more information please visit: www.oregon.gov/ode/schools-and-districts/reportcards/reportcards/Pages/Accountability-Measures.aspx

Our Staff (rounded FTE) 31

View Middle School

Outcomes

REGULAR ATTENDERS

ENGLISH LANGUAGE ARTS

MATHEMATICS

90%

About Our School

BULLYING, HARASSMENT, AND SAFETY POLICIES

Bend-La Pine Schools is committed to creating a safe and welcoming environment for all students. Our strategic priorities include

· Maximizing safety for students, staff, and the community.

· Ensuring physically and psychologically safe, secure and orderly learning environments.

· Building upon our foundation of prevention, intervention, emotional health and crisis preparedness.

EXTRACURRICULAR ACTIVITIES

Bend-La Pine Schools values extracurricular activities, including interscholastic sports, academic clubs, service clubs and more. To learn more about the activities offered at our school, connect with our staff or visit our school website for details.

PARENT ENGAGEMENT

We ask parents and families to partner with us in giving children the support they need to succeed at school. We ask community partners to consider committing more time and expertise. We offer numerous ways for interested families and community members to connect with our schools — through volunteering, attending school activities and events and much more.

COMMUNITY ENGAGEMENT

We offer numerous ways for interested community members and businesses to connect with our schools. We partner with local businesses and community agencies to provide students with learning opportunities. Contact our schools to learn more about ways to connect.

OREGON AT-A-GLANCE SCHOOL PROFILE CONTINUED 2021-22 Sky
Teachers
Educational assistants
Counselors/ Psychologists Average teacher retention rate
% of licensed teachers
7
3
with more than 3 years of experience 79% Same principal in the last 3 years No
American Indian/Alaska Native <10 students or data unavailable Asian 90% Black/African American <10 students or data unavailable Hispanic/Latino 40% Multiracial 57% Native Hawaiian/Pacific Islander <10 students or data unavailable White 62% Free/Reduced Price Lunch 60% Ever English Learner 60% Students with Disabilities 58% Migrant <10 students or data unavailable Homeless <10 students or data unavailable Students in Foster Care <10 students or data unavailable Talented and Gifted 75% Female 63% Male 57% Non-Binary <10 students or data unavailable
<10 students or data unavailable <10 students or data unavailable <10 students or data unavailable 29% 52% <10 students or data unavailable 59% 55% 32% 28% <10 students or data unavailable <10 students or data unavailable <10 students or data unavailable 94% 61% 50% <10 students or data unavailable
students or data unavailable <10 students or data unavailable <10 students or data unavailable 20% 48% <10 students or data unavailable 43% 41% 17% 18% <10 students or data unavailable <10 students or data unavailable <10 students or data unavailable 90% 37% 44% <10 students or data unavailable
<10
Data are suppressed to protect confidential student information. For more information please visit: www.oregon.gov/ode/schools-and-districts/reportcards/reportcards/Pages/Accountability-Measures.aspx

OREGON AT-A-GLANCE SCHOOL PROFILE

Mountain View Senior High School

PRINCIPAL: Michael Hicks | GRADES: 9-12 | 2755 NE 27th St, Bend 97701 | 541-355-4400

REGULAR ATTENDERS

Students who attended more than 90% of their enrolled school days.

2021-22

Academic Progress

ON-TRACK TO GRADUATE

Students earning one-quarter of graduation credits in their 9th grade year.

Academic Success

Students earning a diploma within four years. Cohort includes students who were first-time ninth graders in 2017-18 graduating in 2020-21

FIVE-YEAR COMPLETION

Students earning a high school diploma or GED within five years. Cohort Includes students who were firsttime ninth graders in 2016-17 finishing in 2020-21

COLLEGE GOING

Students enrolling in a two or four year college within 16 months of completing high school in 201920. Data from the National Student Clearinghouse.

School Goals

Our promise is for every student to be known by name, strength and need; and to graduate ready for college, career and citizenship. Our focus is on people, starting with our teachers and school staff and extending to students, families and community partners. We ask teachers, school leaders and staff to hold our students to high expectations, to model those standards in their own behavior and to provide all students the support they need to succeed.

96% Oregon average 88%

State Goals

The Oregon Department of Education is partnering with school districts and local communities to ensure a 90% ontime, four year graduation rate by 2025. To progress toward this goal, the state will prioritize efforts to improve attendance, provide a well-rounded education, invest in implementing culturally responsive practices, and promote continuous improvement to close opportunity and achievement gaps for historically and currently underserved students.

54% Oregon average 56%

Safe & Welcoming Environment

Bend-La Pine Schools is committed to creating a safe and welcoming environment for all students. Our strategic priorities include

· Maximizing safety for students, staff, and the community.

· Ensuring physically and psychologically safe, secure and orderly learning environments.

· Building upon our foundation of prevention, intervention, emotional health and crisis preparedness.

Students We Serve Student Enrollment
DEMOGRAPHICS American Indian/Alaska Native Students 1% Teachers 0% Asian Students 2% Teachers 0% Black/African American Students 1% Teachers 0% Hispanic/Latino Students 13% Teachers 4% Multiracial Students 3% Teachers 0% Native Hawaiian/Pacific Islander Students <1% Teachers 0% White Students 80% Teachers 96% Ever English Learners 8% Languages Spoken 8 Students with Disabilities 10% Required Childhood Vaccinations 94% Free/ Reduced Price Lunch >95% *<10 students or data unavailable School Environment CLASS SIZE Median size of classes in core subjects. 25 Oregon average 22
1,156
59% Oregon average 64%
92% Oregon average 83%
GRADUATION
ON-TIME
85% Oregon average 81%
School Website: www.bend.k12.or.us/MVHS Eligibility for Free/Reduced Price Lunch expanded in 2020-21, for more information please visit: www.oregon.gov/ode/schools-and-districts/reportcards/reportcards/Pages/Accountability-Measures.aspx

Our Staff (rounded FTE)

57

Mountain View Senior High School

Outcomes

7

ATTENDERS

ON-TRACK TO GRADUATE

ON-TIME GRADUATION

91%

About Our School

ADVANCED COURSEWORK

CAREER & TECHNICAL EDUCATION

EXTRACURRICULAR ACTIVITIES

PARENT & COMMUNITY ENGAGEMENT

with more than 3 years of experience

Yes

95% Same principal in the last 3 years

Bend-La Pine Schools offer a range of advanced coursework and opportunities for students. These include, but are not limited to, Advanced Placement courses, International Baccalaureate programs of study, dual credit courses (in which students can obtain college credit in school) and much more. Contact counseling offices to learn more about potential options.

Bend-La Pine Schools’ cutting-edge rigorous and relevant Career and Technical Education courses prepare students for a wide range of high-wage, high-skill, highdemand careers. More than 2,300 Bend-La Pine Schools’ students enrolled in CTE courses last year, with high schools offering more than 148 CTE courses. Students have the opportunity to explore a variety of CTE options including agri-sciences, business, culinary, engineering, forestry, future energy and power, graphic design and manufacturing technologies.

Bend-La Pine Schools values extracurricular activities, including interscholastic sports, academic clubs, service clubs and more. To learn more about the activities offered at our school, connect with our staff or visit our school website for details.

We ask parents and families to partner with us in giving children the support they need to succeed at school. We ask community partners to consider committing more time and expertise. We offer numerous ways for interested families and community members to connect with our schools — through volunteering, attending school activities and events and much more.

OREGON AT-A-GLANCE SCHOOL PROFILE CONTINUED 2021-22
Teachers
Educational assistants
Counselors/ Psychologists Average teacher retention rate
% of licensed teachers
6
REGULAR
American Indian/Alaska Native <10 students or data unavailable Asian 85% Black/African American 55% Hispanic/Latino 45% Multiracial 53% Native Hawaiian/Pacific Islander <10 students or data unavailable White 60% Free/Reduced Price Lunch 59% Ever English Learner 54% Students with Disabilities 41% Migrant <10 students or data unavailable Homeless 47% Students in Foster Care <10 students or data unavailable Talented and Gifted 67% Female 57% Male 60% Non-Binary <10 students or data unavailable
<10 students or data unavailable <10 students or data unavailable <10 students or data unavailable 92% 91% <10 students or data unavailable 92% 92% 86% 83% <10 students or data unavailable <10 students or data unavailable <10 students or data unavailable >95% >95% 89% <10 students or data unavailable
<10 students or data unavailable <10 students or data unavailable <10 students or data unavailable 83% <10 students or data unavailable <10 students or data unavailable 86% 77% >95% 62% <10 students or data unavailable 31% <10 students or data unavailable 93% 89% 82%
in
Coming
2022-23
Data are suppressed to protect confidential student information. For more information please visit:
www.oregon.gov/ode/schools-and-districts/reportcards/reportcards/Pages/Accountability-Measures.aspx
First American Title Insurance Company, and the operating divisions thereof, make no express or implied warranty respecting the information presented and assume no responsibility for errors or omissions. First American, the eagle logo, First American Title, and firstam.com are registered trademarks or trademarks of First American Financial Corporation and/or its affiliates. ©2018 First American Financial Corporation and/or its affiliates. All rights reserved. NYSE: FAF 39211701018 BUSINESS REPORT

Local Business Report

Subject: 63151 NW Vista Meadow Ln Bend, OR 97703

Report Generated: 3/13/2023

8 8 Restaurants Stores 8 Pet Services 8 Healthcare Financial Public Agencies 5 5 Community 8
Stores
Food 63455 N Highway 97, Bend, Oregon, 97703 (541)306-3486 0.62 miles Shinsei Sushi 63455 N Highway 97, Bend, Oregon, 97703 0.63 miles Left Coast Burger 63455 N Highway 97, Bend, Oregon, 97703 0.64 miles TACO DEL MAR 63455 N Highway 97, Bend, Oregon, 97703 (541)647-2235 0.65 miles Jamba 63455 N Highway 97, Bend, Oregon, 97703 (541)640-8285 0.65 miles Moose Sisters 63455 N Highway 97, Bend, Oregon, 97703 (541)316-5345 0.68 miles Crumbl Cookies 63455 N Highway 97, Bend, Oregon, 97703 (541)382-2687 0.70 miles Starbucks 20340 Empire Ave, Bend, Oregon, 97703 (541)633-5855 0.72 miles Twist Cocktail Catering 0.26 miles (541)409-3463 63345 Lavacrest St, Bend, Oregon, 97703 Bend Motorcycle Adventures 0.33 miles (541) 213-6162 63276 Rossby St, Bend, Oregon, 97703 Mountain Sun Skin Therapy 0.34 miles (541)527-2020 63323 Britta St, Bend, Oregon, 97703 Bend Brothers Moving 0.57 miles (541)639-3182 63455 N Highway 97, Bend, Oregon, 97703 Ashley Furniture HomeStore 0.60 miles 63455 N Highway 97, Bend, Oregon, 97703 Conscious Ink 0.60 miles 63134 Riverstone Dr, Bend, Oregon, 97703 RiverStone Adventures 0.62 miles (541)508-0425 63455 N Highway 97, Bend, Oregon, 97703 Creative Groth 0.63 miles (541)419-2811 20420 Robal Ln, Bend, Oregon, 97703 Auto Network Group Northwest 0.59 miles (541) 389-7778 63240 Service Rd, Bend, Oregon, 97703 Pappa Stephen DVM 0.59 miles (541) 389-7778 63240 Service Rd, Bend, Oregon, 97703 Bend Animal Hospital
Pet Services
Healthcare Community Services 0.60 miles (541)330-0178 63455 N Highway 97, Bend, Oregon, 97703 PetSmart 0.61 miles (541)330-1462 63455 N Highway 97, Bend, Oregon, 97703 Banfield Pet Hospital 0.89 miles (541)306-2330 20520 Robal Ln, Bend, Oregon, 97701 Mud Bay 1.00 miles (541)704-8429 20548 Fred Meyers Rd, Bend, Oregon, 97701 FLM Decks 1.11 miles (541)318-1602 3405 N Highway 97, Bend, Oregon, 97703 U Wash Pets & Grooming 1.30 miles (541)382-0510 3197 N Highway 97, Bend, Oregon, 97703 Petco 0.60 miles https://www.affordabledentures.com/locations/or/bend (541) 640-5820 63455 N Hwy 97, Bend, Oregon, 97703 Affordable Care Website Link 0.64 miles 63455 N Highway 97, Bend, Oregon, 97703 Affordable Dentures 0.73 miles (541)678-2675 20340 Empire Ave, Bend, Oregon, 97703 Detour Bend 0.73 miles (541)371-2639 20354 Empire Ave, Bend, Oregon, 97703 For The Health Of It Massage & Bodywork 0.75 miles (252)527-6121 63455 N Highway 97, Bend, Oregon, 97703 Affordable Dentures 0.78 miles (541)382-9420 20360 Empire Ave, Bend, Oregon, 97703 The Good Leaf Organic Collective 0.81 miles (541)382-1620 20332 NE Empire Ave, Bend, Oregon, 97703 Evoke at Cascades 0.70 miles (541)330-6400 20380 Halfway Rd, Bend, Oregon, 97703 Home Instead Senior Care 0.39 miles Oregon Deschutes County Sheriff's Heliport 0.82 miles (541)410-1183 20520 Robal Rd, Bend, Oregon, 97701 Club Pilates 1.04 miles (541)385-5947 63043 Sherman Rd, Bend, Oregon, 97703 Ouzel Outfitters 1.12 miles Oregon Gopher Gulch Airport 1.40 miles (541) 385-1163 63060 Layton Ave, Bend, Oregon, 97701 Central Oregon Gymnastics Academy 1.46 miles (541) 647-1409 20495 Murray Rd, Bend, Oregon, 97701 Mountain Air Trampoline Park
Financial Services Public Agencies 1.46 miles (541) 647-1409 20495 Murray Rd, Bend, Oregon, 97701 Mountain Air Trampoline Park 1.68 miles (541)728-3493 20795 High Desert Ln, Bend, Oregon, 97701 Tribe Women's Fitness 1.85 miles (541)382-2348 2700 NE 4th St, Bend, Oregon, 97701 Snap Fitness 0.77 miles 63435 N Highway 97, Bend, Oregon, 97703 Chase 1.51 miles 63056 Lower Meadow Dr, Bend, Oregon, 97701 AP Equipment Financing 2.45 miles (541)389-7701 1700 NE 3rd St, Bend, Oregon, 97701 First Interstate Bank 2.45 miles (541)389-7701 1700 NE 3rd St, Bend, Oregon, 97701 Bank of the Cascades 2.47 miles (541)330-1701 1701 NE 3rd St, Bend, Oregon, 97701 Columbia Bank 0.45 miles (541) 322-6305 63377 Jamison St, Bend, Oregon, 97703 City Of Bend Fire Department Station 305 North Fire Station 0.46 miles (541)693-6911 63333 Highway 20, Bend, Oregon, 97703 Deschutes County Sheriff's Dept 0.53 miles (541)388-6213 63319 NE Jamison St, Bend, Oregon, 97703 Oregon State Police Dept-Bend 0.96 miles (541)388-6322 63030 O B Riley Rd, Bend, Oregon, 97703 Bend DMV 0.96 miles (541)388-6322 63085 N Highway 97, Bend, Oregon, 97703 Oregon DMV First American Title Insurance Company makes no express or implied warranty respecting the Information presented and assumes no responsibility for errors or omissions. FIRST AMERICAN, the Eagle logo, and FIRST AMERICAN TITLE INSURANCE COMPANY are trademarks owned by First American Financial Corporation.
Issuu converts static files into: digital portfolios, online yearbooks, online catalogs, digital photo albums and more. Sign up and create your flipbook.