Heerenlaan 1, Helmond

Page 1

Herenlaan 1 // Helmond
Herenlaan 1, Helmond // 32 // Cato Makelaars Geachte heer, geachte mevrouw, Dank voor uw interesse in deze bijzondere poortwoning. Om u een helder en compleet beeld van dit verrassend ruime huis in Brandevoort-De Veste te geven, bevat deze documentatie de volgende informatie: Introductie 6 Feiten en Cijfers 8 Foto’s 12 - 51 Plattegronden 52 - 57 Indeling 58 - 63 Locatie en omgeving 64 - 71 Algemene informatie 72 - 75 Deze documentatie is met uiterste zorg samengesteld om u een goede eerste indruk te geven. Vanzelfsprekend zijn we u graag van dienst met antwoorden op uw vragen. We maken met genoegen een persoonlijke afspraak voor een uitgebreide bezichtiging, zodat u een nog beter beeld krijgt. Met hartelijke groet, Mevrouw W.A.M. (Helmie) Kanters RM 06 10 34 56 57 Dear Sir, Dear Madam, Thank you for your interest in this special gatehouse. To give you a clear and complete picture of this surprisingly spacious house in Brandevoort-De Veste, this documentation contains the following information: Introduction 6 Facts and figures 8 Photos 12 - 51 Floor plans 52 - 57 Layout 58 - 63 Location and surroundings 64 - 71 General information 72 - 75 This property brochure has been compiled with the utmost care to give you a good first impression. Obviously we would like to answer any questions you may have. And would be glad to arrange an appointment for a comprehenisve viewing to give you an even better impression. With warm regards, Mrs W.A.M. (Helmie) Kanters RM 06 10 34 56 57 Welkom bij Herenlaan 1 in Helmond

5 kwaliteiten van deze bijzondere poortwoning met stadstuin en eigen parkeerplaats

5 assets of this exceptional gatehouse with city garden and private parking

1. Ruimte voor het hele gezin

Vier woonlagen, vijf royale slaapkamers, met ruimte voor extra 6e slaapkamer en 2e badkamer.

2. Sfeervol en duurzaam wonen

In de fraaie en tijdloze architectuur van Brandevoort - De Veste, optimaal geïsoleerd met energielabel A!

3. Alles bij de hand

Voorzieningen als supermarkten, medisch centrum, sport, NS-station en basisscholen op wandelafstand.

4. Buitenruimte

Parkeren en buiten spelen op afgesloten binnenterrein, met knusse stadstuin en groene ecozone om de hoek.

5. Centrale ligging

Op makkelijke auto- en openbaar vervoer afstand van Eindhoven, Helmond, Nuenen, Geldrop en Mierlo.

1. Space for the whole family.

Four levels of living, five generous bedrooms, with room for additional 6th bedroom and 2nd bathroom.

2. Stylish living.

In the beautiful and timeless architecture of De VesteBrandevoort, optimally insulated with energy label A!

3. Everything within reach.

Amenities such as supermarkets, medical center, sports, NS station and elementary schools within walking distance.

4. Outdoor space.

Parking and outdoor play in enclosed courtyard, with cozy city garden and green ecozone around the corner.

5. Central location.

At easy car- and public transportation distance from Eindhoven, Helmond, Nuenen, Geldrop and Mierlo.

Herenlaan
1, Helmond // 54 // Cato Makelaars

Introductie

Voor hun nieuwe levensfase gaan de huidige eigenaren terug naar ‘hun’ Den Bosch: “Eigenlijk zijn vier woonlagen en vijf slaapkamers te veel. Bovendien willen we graag weer even de stad inlopen en een koffietje pakken.”

Ze zijn nog steeds gecharmeerd van het huis en de buurt: “Op de begane grond staat iedereen met elkaar in contact in de keuken met eetkamer, woonkamer en via de openslaande deuren naar de stadstuin, terwijl we boven alle individuele ruimte hebben, met vijf slaapkamers. Alle voorzieningen zijn bovendien binnen handbereik. En in de wijk zijn veel jonge gezinnen met schoolgaande kinderen, die elkaar opzoeken en samen buiten spelen.”

Duurzaamheid

Het poorthuis heeft energielabel A, is optimaal geïsoleerd met dak-, vloer- en muurisolatie en het geheel is voorzien van isolatieglas. De mechanische ventilatie op de 3e verdieping heeft een warmte-terug-winsysteem. Het platte dak van de buitenberging kan desgewenst worden voorzien van een sedumdak.

Introduction

For their new phase of life, the current owners are going back to ‘their’ Den Bosch: “Actually, four floors and five bedrooms are too much. Besides, we would like to walk into town again and grab a coffee.”

They are still charmed by the house and the neighbourhood: “On the ground floor, everyone is in contact with each other in the dining kitchen, living room and through the French doors to the city garden, while upstairs we have all the individual space, with five bedrooms. All amenities are also within easy reach. And the neighbourhood has many young families with school-age children, who look for each other and play outside together.”

Sustainability

The gatehouse has energy label A, is optimally insulated with roof, floor and wall insulation, and the whole is fitted with insulated glass. The mechanical ventilation on the 3rd floor has a heat recovery system. The flat roof of the outdoor storage shed can be fitted with a sedum roof if desired.

Herenlaan
1,
Helmond
// 76 // Cato
Makelaars

Figures

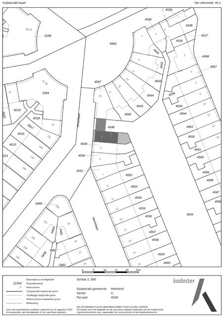
Herenlaan 1, Helmond // 98 // Cato Makelaars Feiten en cijfers Object poortwoning met stadstuin, berging en eigen parkeerplaats op afgesloten binnenterrein, bijdrage Vereniging van Eigenaren € 20 per maand Bouwjaar 2002 Kadastraal bekend Gemeente Helmond Sectie U Nummer 4548 woning Nummer 3080-A4 parkeerplaats Nummer 3029 opstalrecht poortkamer Perceeloppervlakte 81 m² Woonoppervlakte circa 160 m² Oppervlakte externe bergruimte circa 7 m² Totale oppervlakte circa 167 m² Inhoud woning (conform meetcertificaat) circa 565 m³ Aantal kamers 8 (zitkamer, eetkamer, 5 slaapkamers, was-/bergkamer) Aantal badkamers badkamer op 1e verdieping, aansluitingen 2e badkamer op 2e verdieping (toilet reeds aanwezig) Parkeren op eigen parkeerplaats nabij achtertuin op middels poort afgesloten binnenterein, volop openbare parkeergelegenheid aan de voorzijde in de straat Facts &
Object gatehouse with city garden, storage room and private parking in enclosed courtyard, Owners’ Association contribution, € 20 per month Construction year 2002 Cadastral known Municipality Helmond Section U Number 4548 house Number 3080-A4 parking Number 3029 building rights gate room Plot area 81 m² Living area villa approximately 160 m² Surface external storage space approximately 7 m² Total surface area approximately 167 m² Content house (in accordance with measurement certificate) approximately 565 m³ Number of rooms 8 (sitting room, dining room, 5 bedrooms, laundry/storage room) Number of bathrooms bathroom on 1st floor, connections for 2nd bathroom on 2nd floor (toilet available) Parking on private parking near rear garden on gated courtyard, plenty of public parking at front in the street

Isolatie & installaties

Energielabel

Isolatie daken

Isolatie gevels

Isolatie vloeren

Isolatie glas

definitief

en

02-10-2026

Insulation and installations

Energy label

of

of

gehele

Verwarming

Warm water cv-combi-ketel Nefit

glasvezelaansluiting in meterkast

Technische voorzieningen

balansventilatie met warmteterugwinning

Materiaal daken hoofdbouw gebakken dakpannen, bitumineuze dakbedekking berging achtertuin Materiaal gevels bakstenen, in spouw gebouwd

Materiaal vloeren gehele woning voorzien van betonnen vloeren Materiaal buitenkozijnen hardhouten kozijnen, ramen en deuren

Buitenschilderwerk opnieuw uitgevoerd in 2016

Materiaal binnenkozijnen houten kozijnen, stompe houten deuren met identiek beslag

water

of

facilities

02-10-2026

house

heating

central heating combi

fibre-optic connection in the meter cupboard

balanced ventilation with heat

with

Herenlaan 1, Helmond // 1110 // Cato Makelaars
A,
tot
met
ja
ja
ja
ja,
woning
cv-combi-ketel Nefit HR 2017
HR 2017
-
-
A, final till
Insulation of roofs yes Insulation
facades yes Insulation
floors yes Insulation
windows yes, whole
Heating Nefit central
combi boiler HR 2017 Hot
Nefit
boiler HR 2017 Technical
-
-
recovery Material roofs main building baked tiles, bituminous roofing shed rear garden Material facades bricks, built in cavity Material floors entire house with concrete floors Material exterior frames hardwood window frames, windows and doors Exterior painting re-painted in 2016 Material inner frames wooden window frames, wooden doors
identical fittings
Herenlaan 1,
Helmond
// 1312 // Cato
Makelaars

Begane grond Ground floor

Herenlaan
1, Helmond //
1514 // Cato
Makelaars Herenlaan 1, Helmond //
1716 // Cato
Makelaars Herenlaan 1, Helmond //
1918 // Cato
Makelaars Herenlaan 1, Helmond //
2120 // Cato
Makelaars
Herenlaan 1, Helmond // 2322 // Cato Makelaars Eerste verdieping First floor
Herenlaan 1, Helmond //
2524 // Cato
Makelaars Herenlaan 1, Helmond // 2726 // Cato Makelaars Herenlaan 1, Helmond // 2928 // Cato Makelaars
Herenlaan 1, Helmond // 3130 // Cato Makelaars Tweede verdieping Second floor
Herenlaan 1, Helmond //
3332 // Cato
Makelaars Herenlaan 1, Helmond // 3534 // Cato Makelaars Herenlaan 1, Helmond // 37
36 // Cato
Makelaars

Buitenruimte

Herenlaan 1, Helmond // 3938 // Cato Makelaars
Outdoor space
Herenlaan
1, Helmond //
4140 // Cato
Makelaars Herenlaan
1,
Helmond //
4342 // Cato Makelaars
Herenlaan 1, Helmond // 4544 // Cato Makelaars Herenlaan 1, Helmond // 4746 // Cato Makelaars Herenlaan 1, Helmond // 4948 // Cato Makelaars Herenlaan 1, Helmond // 51
50 // Cato
Makelaars

Ground floorBegane grond no rights can be derived from these drawingsaan deze tekeningen kunnen geen rechten worden ontleend

First floorEerste verdieping no rights can be derived from these drawingsaan deze tekeningen kunnen geen rechten worden ontleend

Herenlaan 1, Helmond // 5352 // Cato Makelaars

Second

Herenlaan
1, Helmond // 5554 // Cato Makelaars
floorTweede verdieping no rights can be derived from these drawingsaan deze tekeningen kunnen geen rechten worden ontleend Second floor (optional lay-out 2nd bathroom)Tweede verdieping (optionele indeling 2e badkamer) no rights can be derived from these drawingsaan deze tekeningen kunnen geen rechten worden ontleend
Herenlaan
1, Helmond // 5756 // Cato
Makelaars Third floorDerde verdieping
no rights can be derived
from these drawings
aan deze tekeningen kunnen geen rechten worden ontleend
Storage roomBerging
no rights can be derived from these drawingsaan deze tekeningen kunnen geen rechten worden ontleend

Indeling

Op vier woonlagen heeft het hele gezin eigen én gezamenlijke ruimte. Er zijn nu vijf slaapkamers.

In slaapkamer 4 op de tweede verdieping zijn alle voorbereidingen getroffen voor een extra badkamer (water en afvoeren, een toilet is reeds aanwezig). Op de 4e verdieping met vaste trap en dakramen kan nog een extra 6e slaap- of werkkamer worden gecreëerd door het ventilatiesysteem en de aansluitingen wasapparatuur te omkasten.

Begane grond

In de ontvangsthal zijn het gastentoilet met fontein en de meterkast, met daarnaast de garderobenis. Onder de trap is bovendien een praktische voorraadkast. De beglaasde deur komt uit in de bijzonder lichte zitkamer met drie openslaande deuren naar de tuin. De eikenhouten vloer is hier dorpelloos doorgelegd.

Om de hoek is de open doorloopkeuken. Rechts is het keukenblok met werkblad, rvs-gootsteen, vaatwasser en diverse kasten. Links is het kookgedeelte met boven de koelkast de Siemens combi-oven, naast het Siemens vijfpits gasfornuis met wokbrander onder de Siemens rvs-afzuiging met verlichting.

Het lichte eetgedeelte kijkt door het grote raam uit over de Herenlaan richting De Plaetse. Er is ruimte voor een zespersoons eettafel.

Vloerafwerking: houten parketvloer Wandafwerking: stucwerk

Plafondafwerking: stucwerk

Ontvangsthal: circa 10 m²

Zitkamer achterzijde: circa 19 m² Keuken met eetkamer: circa 12 m²

Layout

On four floors, the whole family has its own and shared space. There are now five bedrooms. In bedroom 4 on the second floor, all preparations have been made for an extra bathroom (water and drains, a toilet is already present). On the 4th floor with fixed staircase and skylights, an extra 6th bedroom or study can be created by rearranging the ventilation system and washing machine connections.

Ground floor

The reception hall contains the guest toilet with fountain and the meter cupboard, with the cloakroom next to it. There is also a practical pantry under the stairs. The glazed door opens into the particularly bright sitting room with three patio doors to the garden. The oak floor here is sill-free.

Around the corner is the open walk-through kitchen. To the right is the kitchen unit with worktop, stainless steel sink, dishwasher and various cupboards. To the left is the cooking area with the Siemens combination oven above the fridge, next to the Siemens five-burner gas hob with wok burner below the Siemens stainless steel extractor with lighting.

The bright dining area overlooks the Herenlaan towards De Plaetse through the large window. There is room for a sixperson dining table.

Floor finish: wooden parquet floor

Wall finish: stucco

Ceiling finish: stucco

Reception hall: approximately 10 m²

Sitting room rear: approximately 19 m² Kitchen with dining room: approximately 12 m²

Herenlaan 1, Helmond // 5958 // Cato Makelaars

Eerste verdieping

De slaapkamers 1 en 2 liggen aan weerszijden van de ruime badkamer tegenover de trap met vloerbedekking.

Slaapkamer 1 aan de achterzijde is bijzonder ruim en heeft drie ramen die uitkijken op de achtertuin en de binnenplaats.

Tweede verdieping

Slaapkamer 2, met eveneens drie ramen, ligt aan de voorzijde en is momenteel in gebruik als tweepersoons werkkamer.

De luxe badkamer 1 heeft een breed wastafelmeubel met verlichte spiegel, een inloopdouche met thermostaatkraan, ligbad met thermostaatkraan, een zwevend toilet en een handdoek-design radiator.

Via de vaste trap is de volgende etage bereikbaar met drie ruime kamers. Slaapkamer 3 aan de achterzijde heeft twee grote Velux dakramen en een maatwerk-kastenwand voor extra bergruimte. Slaapkamer 4 aan de voorzijde heeft een raam in de dakkapel in de voorgevel, met ernaast een knusse hoek voor een bureau of leeshoekje. Direct voorbij de deur zijn de voorbereidingen voor een extra badkamer 2 met douchecabine getroffen, het toilet is reeds aanwezig. Met desgewenst een tussenwand en een extra deur is die eenvoudig te realiseren. Dankzij de hoek blijft dan nog steeds een behoorlijke slaapkamer 4 over.

De derde deur op de overloop voert naar de bijzondere en ruime poortkamer. Deze speelse kamer ligt boven de poort iets lager en heeft daarom een trapje van vier treden. Dankzij de twee dakkapellen met dubbele openslaande ramen is de grote kamer boven de poort bijzonder licht.

First floor

Bedrooms 1 and 2 are on either side of the spacious bathroom facing the carpeted staircase.

Bedroom 1 at the rear is particularly spacious and has three windows overlooking the rear garden and courtyard.

Second floor

Bedroom 2, also with three windows, is at the front and is currently used as a double study.

The luxurious bathroom 1 has a wide vanity unit with illuminated mirror, a walk-in shower with thermostatic tap, bathtub with thermostatic tap, a floating toilet and a toweldesign radiator.

Fixed stairs lead to the next floor with three spacious bedrooms. Bedroom 3 at the rear has two large Velux skylights and a bespoke wardrobe wall for extra storage space. Bedroom 4 at the front has a window in the dormer in the front facade, with a cosy corner next to it for a desk or reading nook. Directly past the door are the preparations for an additional bathroom 2 with shower cubicle, the toilet is already in place. With a partition wall and an additional door if required, this can easily be realised. Thanks to the corner, this still leaves a decent bedroom 4.

The third door on the landing leads to the unusual and spacious gate room. This playful room is slightly lower above the gate and therefore has a staircase of four steps. Thanks to the two dormers with double casement windows, the large room above the gate is particularly bright.

Herenlaan 1, Helmond // 6160 // Cato Makelaars
Vloerafwerking: laminaat Wandafwerking: glad stucwerk Plafondafwerking: stucwerk Overloop 1: circa 4 m² Slaapkamer 1: circa 17 m² Slaapkamer 2: circa 14 m² Badkamer 1: circa 7 m²
Floor finish: laminate Wall finish: smooth stucco Ceiling finish: stucco Overflow 1: approximately 4 m² Bedroom 1: approximately 17 m² Bedroom 2: approximately 14 m² Bathroom: approximately 7 m² Vloerafwerking: laminaat Wandafwerking: glad stucwerk Plafondafwerking: stucwerk Overloop 2: circa 7 m² Slaapkamer 3: circa 15 m² Slaapkamer 4: circa 10 m² Poortkamer 5: circa 13 m² Floor finish: laminate Wall finish: smooth stucco Ceiling finish: stucco Overflow 2: approximately 7 m² Bedroom 3: approximately 15 m² Bedroom 4: approximately 10 m² Gate room: approximately 13 m²

Derde verdieping

De bovenste etage met hoge nok is nu in gebruik als waskamer met uitstortgootsteen en dakraam. Hier zijn de aansluitingen voor de wasapparatuur, de cv-combi-ketel (Nefit HR 2017) en het systeem voor mechanische ventilatie met warmteterugwinning.

Met enkele afscheidingswanden en desgewenst een extra dakraam is hier een volwaardige extra 6e slaap- of werkkamer te creëren.

Stadstuin

De onderhoudsvriendelijke achtertuin ligt op het oosten en heeft zon in de ochtend en middag. De compacte tuin heeft een mix van bestrating en groen, inclusief een lichtplan.

In de schuur van circa 7 m² is ruimte voor fietsen en gereedschap. Ernaast zijn het afstapje en de poort naar het afgesloten binnenterrein met de ondergrondse container voor papier. De afvalcontainer is gesitueerd aan de andere zijde van het binnenterrein.

Op het binnenterrein met twee poorten, buitenverlichting en ondergrondse containers heeft elke woning in het blok een eigen parkeerplaats. De volwassen bomen, overige begroeiing en hekken worden onderhouden door de VvE. De twee poorten zijn door elke bewoner elektrisch bedienbaar.

De looppoort is met een knop bedienbaar en ’s nachts afgesloten.

Third floor

The top floor with high ridge is now used as a laundry room with a utility sink and skylight. Here are the connections for washing equipment, the central heating combi boiler (Nefit 2017) and the mechanical ventilation system with heat recovery.

With some partition walls and an additional skylight if desired, a full-fledged extra 6th bedroom or study can be created here.

Urban garden

The low-maintenance back garden faces east and has morning and afternoon sun. The compact garden has a mix of paving and greenery, including a lighting plan. The approximately 7 m² shed has space for bikes and tools.

Next to it are the stepping stone and gate to the enclosed courtyard with the underground container for paper. The waste container is located on the other side of the courtyard.

In the courtyard with two gates, outdoor lighting and underground containers, each home in the block has its own parking space. The mature trees, other vegetation and fences are maintained by the VvE. The two gates are electrically operated by each resident. The walkway gate is button operated and locked at night.

Vloerafwerking: laminaat Wandafwerking: isolatiedakplaten Plafondafwerking: isolatiedakplaten

Berg- en waskamer: circa 14 m²

Floor finish:

Wall

Storage and laundry room: approximately 14 m²

Herenlaan 1, Helmond // 6362 // Cato Makelaars
laminate
finish: insulation roofing panels Ceiling finish:insulation roofing panels

Locatie en uitzicht

De Herenlaan ligt in het hart van Brandevoort en ‘dorpskern’

De Veste. De geliefde uitbreiding van Helmond is ruim en architecturaal opgezet als compleet dorp. De Veste is daarin de blikvanger, met de look and feel van een oud vestingstadje, compleet met grachten, waterpartijen, torens en poorten naar de groene, afgesloten binnenpleinen voor veilig parkeren en buiten spelen. De architectuur is divers. De Veste is en heeft een compleet centrum, met winkels, supermarkten en horeca op wandelafstand. Ook andere voorzieningen, zoals scholen, sport en recreatie liggen binnen handbereik.

Brandevoort, Helmond en omgeving

Van oorsprong was Brandevoort een agrarisch, dunbevolkt gebied in Mierlo. Bij opgravingen is onder andere een Romeinse nederzetting uit het begin van de jaartelling aangetroffen en in en na de middeleeuwen woonden er voornamelijk boerengezinnen. Kersendorp Mierlo, met diverse winkels en horeca, is nog steeds eenvoudig per fiets of te voet binnendoor bereikbaar. Datzelfde geldt voor het bruisende centrum van Helmond en het natuurgebied van de Strabrechtse Heide.

Location and views

Herenlaan is located in the heart of Brandevoort and ‘village centre’ De Veste. Helmond’s beloved extension is spacious and architecturally designed as a complete village. In it, De Veste is the eye-catcher, with the look and feel of an old fortified town, complete with canals, water features, towers and gates to the green, enclosed courtyards for safe parking and outdoor play. The architecture is diverse. De Veste is and has a complete centre, with shops, supermarkets and restaurants within walking distance. Other amenities such as schools, sports and recreation are also within easy reach.

Brandevoort, Helmond and surroundings

Originally, Brandevoort was an agricultural, sparsely populated area of Mierlo. Excavations have found, among other things, a Roman settlement from the beginning of the era, and in and after the Middle Ages mainly farming families lived there. Cherry village Mierlo, with various shops and catering establishments, is still easily accessible by bicycle or on foot within walking distance. The same goes for the bustling centre of Helmond and the nature reserve of the Strabrechtse Heide.

Op 100 m wandelen begint de grote ecozone, het park rond de waterpartijen, met volwassen groen, wandel- en fietspaden.

Het uitzicht voor is levendig; rechts naar de rotonde in de Laan door de Veste, links naar de Herenlaan en De Plaetse die beide met bomen zijn omzoomd.

Eind vorige eeuw begon Helmond er met de hoogst noodzakelijke uitbreiding. Rond de kern van De Veste liggen nog diverse woongebieden. Het jonge stadsdeel heeft alle comfort van nu, maar doet authentiek en organisch aan als een origineel Brabants stadje met een afwisselend straatbeeld in diverse stijlen. Dankzij het eigen NS-station op wandelafstand is de treinreis naar hartje Eindhoven slechts acht minuten.

At 100 m walking distance starts the large ecozone, the park around the water ponds, with mature greenery, walking and cycling paths.

The view in front is lively; to the right to the roundabout in the Laan door de Veste, to the left to Herenlaan and De Plaetse, both lined with trees.

At the end of the last century, Helmond began its highly necessary expansion there. Several residential areas still surround the core of De Veste. The young district has all the comforts of today, but has an authentic and organic feel of an original Brabant town with a varied street scene in various styles. Thanks to its own NS railway station within walking distance, the train journey to the heart of Eindhoven is only eight minutes.

Aan de achterzijde kijkt de afgesloten binnenhof uit op de omringende achtergevels met verspringende daklijnen die met zink zijn afgewerkt.

At the rear, the enclosed courtyard overlooks the surrounding rear facades with staggered rooflines finished in zinc.

Herenlaan 1, Helmond // 6564 // Cato
Makelaars
/ 65

Voorzieningen en afstanden Kinderdagverblijf Vestein: ca. 290 m

Peuterspeelzaal Jip en Janneke: ca. 280 m

Kleuterschool Het Wellenest: ca. 350 m

Openbare basisschool Brandevoort: ca. 240 m

Basisschool De Vendelier: ca. 210 m

Openbare basisschool Brandevoort De Hoeves: ca. 850 m

Carolus Borromeus College (mavo-havo-vwo): ca. 750 m

Jan van Brabant College (mavo-havo-vwo, tt): ca. 4,4 km

Universiteit (Tilburg): ca. 47,3 km

Universiteit (TU/e): ca. 10,2 km

Sportpark Brandevoort (o.a. voetbal, atletiek): ca. 850 m

Sporthal De Veste: ca. 250 m

Golf de Gulbergen: ca. 2,9 km

Tennisvereniging Carolus: ca. 1,4 km Zwembad en sportcentrum Laco: ca. 5,3 km

Wijkhuis ’t Brandpunt: ca. 240 m

Dierenrijk: ca. 2,9 km

Recreatiecentrum De Brandevoortse Hoeve: ca. 1,1 km

De Cacaofabriek: ca. 3,5 km

Automotive Campus: ca. 2,5 km

Facilities and distances

Child day care centre Vestein: approx. 290 m

Jip and Janneke playgroup: approx. 280 m

Kindergarten Het Wellenest: approx. 350 m

Public Primary School Brandevoort: approx. 240 m

Primary school De Vendelier: approx. 210 m

Primary school Brandevoort De Hoeves: approx. 850 m

Carolus Borromeus College (mavo-havo-vwo): approx. 750 m

Jan van Brabant College (mavo-havo-vwo, tt): approx. 4.4 km University (Tilburg): approx. 47.3 km University (TU/e): approx. 10.2 km

Sportpark Brandevoort (a.o.football, athletics): approx. 850 m

Sports hall De Veste: approx. 250 m

Golf de Gulbergen: approx. 2.9 km

Tennis club Carolus: approx. 1.4 km

Swimming pool and sports centre Laco: approx. 5.3 km

Community centre ‘t Brandpunt: approx. 240 m

Dierenrijk: approx. 2.9 km

Recreation centre De Brandevoortse Hoeve: approx. 1.1 km De Cacaofabriek: approx. 3.5 km

Automotive Campus: approx. 2.5 km

Huisartspraktijk Brandevoort: ca. 220 m

Apotheek Brandevoort: ca. 230 m

Tandartspraktijk Brandevoort: ca. 300 m

Fysiotherapiepraktijk De Veste ca. 210 m

Elkerliek Ziekenhuis: ca. 4,2 km

Stadskantoor: ca. 3,9 km

Bioscoop Pathé: ca. 3,8 km

Stads- en dierenpark De Warande: ca. 4,4 km

Eindhoven Airport: ca. 19,6 km

NS-station Brandevoort: ca. 450 m

Tankstation Argos: ca. 2,5 km

Bushalte Brandevoort: ca. 450 m

Supermarkt Albert Heijn: ca. 210 m Supermarkt Jumbo: ca. 350 m

Markthal Brandevoort: ca. 280 m

Warenhuis HEMA: ca. 190 m Restaurant Kasteelpoort: ca. 4,1 km Restaurant De Rozario, Michelinster: ca. 4,4 km Restaurant Nastrium: ca. 2,7 km

General practice Brandevoort: approx. 220 m Pharmacy Brandevoort: approx. 230 m

Dentist practice Brandevoort: approx. 300 m

Physiotherapy practice De Veste: approx. 210 m

Elkerliek Hospital: approx. 4.2 km

Town hall: approx. 3.9 km

Pathé cinema: approx. 3.8 km

City- and animal park De Warande: approx. 4.4 km

Eindhoven Airport: approx. 19.6 km

NS-station Brandevoort: approx. 450 m

Argos petrol station: approx. 2.5 km

Bus stop Brandevoort: approx. 450 m

Albert Heijn supermarket: approx. 210 m Jumbo supermarket: approx. 350 m Brandevoort market hall: approx. 280 m

Department Store HEMA: approx. 190 m Restaurant Kasteelpoort: approx. 4.1 km Restaurant De Rozario, Michelin star: approx. 4.4 km Restaurant Nastrium: approx. 2.7 km

Herenlaan 1, Helmond // 6766 // Cato
Makelaars Herenlaan 1, Helmond // 6968 // Cato Makelaars

Enkelbestemmingen

Agrarisch

Aanduidingen

Gebiedsgerichte

Herenlaan 1, Helmond // 7170 // Cato Makelaars
Agrarisch met waarden Bedrijf Bedrijventerrein Bos Centrum Cultuur en ontspanning Detailhandel Dienstverlening Gemengd Groen Horeca Kantoor Maatschappelijk Natuur Overig Recreatie Spor t Tuin Verkeer Water Wonen Woongebied
Plangebied Gebiedsaanduiding
Figuren
besluiten

Algemene informatie

Verkoopprocedure

Alle door Cato Makelaars en de verkoper verstrekte informatie moet uitsluitend worden gezien als een uitnodiging tot het uitbrengen van een bieding. Het doen van een bieding betekent niet automatisch dat u er rechten aan kunt ontlenen. Indien de vraagprijs wordt geboden, kan de verkoper beslissen dit bod wel of niet te aanvaarden. Cato Makelaars raadt geïnteresseerden aan een eigen NVM-makelaar in te schakelen voor professionele begeleiding bij bieding en aankoop.

Bieding

Wenst u een bieding te doen? Dan dienen de volgende zaken benoemd te worden:

Geboden koopsom

Datum sleuteloverdracht Eventuele overname roerende zaken Eventuele ontbindende voorwaarden, bijvoorbeeld financiering.

Koopakte

Bij een tot stand gekomen koopovereenkomst zorgt Cato Makelaars voor opstelling van de koopakte conform NVM-model. Een waarborgsom of bankgarantie van tenminste tien procent van de koopsom die wordt voldaan aan de notaris is daarin gebruikelijk. Voorbehouden kunnen alleen worden opgenomen (bijvoorbeeld voor het verkrijgen van financiering) indien deze uitdrukkelijk bij de bieding zijn vermeld.

Onderzoeksplicht

De verkoper van de woning heeft een zogenaamde informatieplicht. De koper heeft een eigen onderzoeksplicht naar alle zaken die van belang (kunnen) zijn. Als koper is het voor u ook zaak u te (laten) informeren over de financieringsmogelijkheden op basis van arbeidssituatie, inkomen, leningen en andere

persoonlijke verplichtingen. Wij raden u aan, voor het doen van bieding, degelijk onderzoek te (laten) verrichten, ook naar de algemene en specifieke aspecten van de woning. Nog beter is het om een eigen NVM-makelaar in te schakelen voor de aankoopbegeleiding.

Verkoopdocumentatie

Alle vermelde gegevens zijn naar beste kennis en wetenschap en te goeder trouw door ons weergegeven. Mocht nadien blijken dat er afwijkingen zijn (bijvoorbeeld in plattegronden, oppervlaktes en inhoud), dan kan men zich hierop niet beroepen. Alhoewel zorgvuldigheid is betracht, wordt inzake de juistheid van de inhoud van deze verkoopdocumentatie, noch door de eigenaar noch door de verkopend makelaar, enige aansprakelijkheid aanvaard en kunnen er geen rechten aan worden ontleend. De maten van de plattegronden kunnen afwijken aangezien de tekeningen soms verkleind weergegeven (moeten) worden.

Bedenktijd (Wet Koop Onroerende Zaken)

Als u een woning koopt, hebt u drie dagen bedenktijd. Gedurende deze periode kunt u de overeenkomst alsnog ongedaan maken.

De bedenktijd gaat in zodra de koper de door beide partijen getekende koopovereenkomst of een kopie daarvan krijgt overhandigd. Ontbindt u binnen de drie dagen van de wettelijke bedenktijd de koop, dan zijn wij genoodzaakt om hiervoor € 250,administratiekosten in rekening te brengen.

Hoe verder na de bezichtiging?

Niet alleen de eigenaar van de woning maar ook wij zijn benieuwd naar uw reactie, en wij stellen het zeer op prijs als u ons binnen enkele dagen uw bevindingen laat weten. Eventueel nemen we graag telefonisch contact met u op. Vindt u deze woning bij nader inzien toch minder geschikt voor u? Dan zijn we u graag anderszins van dienst en assisteren we u met alle plezier bij het zoeken naar een woning die compleet aan uw eisen voldoet.

Wij nodigen u dan ook van harte uit voor een vrijblijvend en persoonlijk adviesgesprek.

General information

Sales procedure

All information provided by Cato Makelaars and the seller should be regarded exclusively as an invitation to submit a bid. Making a bid does not automatically mean that you can derive rights from it. If the asking price is offered, the seller may decide whether or not to accept this offer. Cato Makelaars advises interested parties to engage their own NVM realtor for professional guidance with bidding and purchase.

Bid

Do you wish to make a bid? Then the following things need to be mentioned:

Bid price

Date key transfer

Possible takeover of movable property

Any conditions precedent, such as financing.

Deed of purchase

In the case of a purchase agreement that has been concluded, Cato Makelaars will draw up the deed of sale in accordance with the NVM model. A deposit or bank guarantee of at least ten percent of the purchase price paid to the civil-law notary is customary. Reservations can only be included (for example to obtain financing) if these are explicitly mentioned in the offer.

Obligation to investigate

The seller of the property has a so-called information obligation. The buyer has his own duty to investigate all matters that (may) be of importance. As a buyer, it is also important for you to be informed about the financing possibilities based on employment situation, income, loans and other personal obligations.

Before submitting a bid, we advise you to have a thorough investigation carried out, including into the general and specific aspects of the home. It is even better to use your own NVM realtor for purchase support.

Sales documentation

All information provided is given by us to the best of our knowledge and belief and in good faith. Should later appear that there are deviations (for example in maps, surfaces and contents), this cannot be invoked. Although care has been taken, neither the owner nor the selling realtor accepts any liability for the accuracy of the contents of this sales documentation and no rights can be derived from it. The dimensions of the floor plans may vary, as the drawings may sometimes have to be reduced in size.

Reflection period (Real Estate Purchase Act)

When you buy a property, you have three days to think about it. During this period, you can still cancel the contract. The coolingoff period starts as soon as the buyer receives the purchase agreement signed by both parties or a copy thereof. If you cancel the purchase within three days of the statutory cooling-off period, we will be obliged to charge an administration fee of € 250.

After the visit?

Not only the owner of the property but also we are curious about your reaction, and we would appreciate it if you let us know your findings within a few days. If necessary, we will be happy to contact you by telephone. On closer inspection, do you find this house less suitable for you? Then we would be happy to be of service to you in any other way and will gladly assist you in your search for a property that completely meets your requirements. We would therefore like to invite you for a free and personal consultation.

Herenlaan 1, Helmond // 7372 // Cato Makelaars

Daarom Cato Makelaars

1. Ons motto

Ons motto ‘Van goeden huize, voor goede huizen en monumenten’ staat voor onze frisse en bevlogen NVM full service makelaardij in onroerend goed. Onze verkoopportefeuille omvat louter woningen, appartementen en monumenten van hoog niveau. Wij zijn proactief in verkoop en marketing, en onze kennis en kunde zijn gebaseerd op ruim twintig jaar ervaring in de wijde regio.

2. Cato Team

Ons team bestaat uit nauw samenwerkende professionals, met eigen specialismes en netwerken die de verkoop en marketing van uw object een boost geven. Wij voegen nog meer kwaliteit aan hoogwaardige aanbod toe, door resultaatgerichte diensten als professionele styling, (drone-)tv, fotografie en illustraties.

3. Specialismen

Door specialismen en specialisten te bundelen, leveren wij opmerkelijke resultaten bij het vermarkten van goed onroerend goed. Wij zijn gespecialiseerd in de aan- en verkoop van rijks- en gemeentelijke monumenten en historische panden dankzij uitgebreide studie en interesse in cultureel erfgoed.

4. Ontzorgen

Natuurlijk bent u druk met werk, gezin, familie, sociale netwerken, andere liefhebberijen en bezigheden; dat begrijpen wij maar al te goed. Daarom ontzorgen wij u graag, door u optimaal te begeleiden bij de aan- en verkoop van een goed huis.

5. Bereikbaarheid

We komen naar u toe en ontvangen u van harte in ons gemakkelijk bereikbare kantoor. Gesitueerd aan de Parklaan is Interesting Office uitstekend bereikbaar. Het Centraal Station van Eindhoven ligt op loopafstand. Komt u met de auto? Parkeren doet u gratis op ons eigen terrein achter de slagboom.

Openingstijden

Ons kantoor is geopend op werkdagen van 09.00 uur tot 17.30 uur. Mocht het u doordeweeks niet schikken, dan zijn wij graag bereid om een afspraak met u te maken om u op zaterdag of zondag te woord te staan.

Therefore, Cato Brokers

1. Our motto

Our motto ‘Van goeden huize, voor goede huizen en monumenten’ (of pedigree, for good houses and monuments) stands for our fresh and enthusiastic NVM full service real estate agency. Our sales portfolio comprises only high-end homes, apartments and monuments. We are proactive in sales and marketing, and our knowledge and skills are based on more than twenty years of experience in the wider region.

2. Cato Team

Our team consists of professionals working closely together, with their own specialisms and networks that boost the sales and marketing of your property(s). We add even more quality to our high-quality offering, through result-oriented services such as professional styling, (drone) TV, photography and illustrations.

3. Specialism

By combining specialisms and specialists, we deliver remarkable results in the marketing of good real estate. We specialize in the purchase and sale of national and municipal monuments and historic buildings thanks to extensive study and interest in cultural heritage.

4. Caring

Of course, you are busy with work, family, social networks, other hobbies and activities; we understand that all too well. That is why we are happy to relieve you of all your worries by providing you with the best possible support when buying and selling a good house.

5. Accessibility

We would like to come to you and welcome you warmly in our easily accessible office. Located on the Parklaan, Interesting Office is easily accessible. The Central Station of Eindhoven is within walking distance. Are you coming by car? Parking is free on our own parking spaces on own plot behind the barrier.

Opening hours

Our office is open on working days from 9 am to 5.30 pm. If it does not suit you during the week, we are happy to make an appointment with you on Saturday or Sunday.

Herenlaan 1, Helmond // 7574 // Cato Makelaars
75
LUXURY REAL ESTATE AND MONUMENTS Parklaan 54 A / 5613 BH Eindhoven / 040 290 06 20 06 10 34 56 57 / info@catomakelaars.nl / www.catomakelaars.nl

Turn static files into dynamic content formats.

Create a flipbook
Issuu converts static files into: digital portfolios, online yearbooks, online catalogs, digital photo albums and more. Sign up and create your flipbook.
Heerenlaan 1, Helmond by Cato Makelaars - Issuu