UNOMASUNO

Page 1

OrdenanaSEP SEP yaConaliteg Conaliteg establecerestrategiacon autoridadeseducativasporLTG LTG

TANYA ACOSTA

A

En unificación con las autoridades estatales educativas (titulares del Poder Ejecutivo de cada entidad federativa) y locales (municipales), establecerán una estrategia para la implementación de los programas y libros aprobados para el ciclo escolar 2023-2024; pudiendo establecer un reparto virtual o físico, o cualquier otro que garantice la entrega oportuna a la infancia y adolescencia, considerando para tal entrega los requerimientos y contextos de cada entidad federativa,señala el resolutivo.

La juez agregó que para lograr lo anterior,en cumplimiento del principio de progresividad de los derechos humanos previsto en el artículo primero constitucional, las autoridades federales gestionarán los ajustes presupuestales necesarios, considerando el interés superior de la infancia y la adolescencia.

Como en ocasiones anteriores, cuando se concedió a la UNPF la suspensión provisional y luego definitiva, la SEP y el Conaliteg pueden impugnar el fallo de la juez de distrito,para que el caso se resuelva en un tribunal colegiado, el cual determinaría si confirma, modifica o revoca el fallo de primera instancia.

En otra ocasión, Medina Alcántara argumentó que el interés superior de la infancia se funda en la dignidad del ser humano,y porello,dijoen su momento,los materiales que servirán para su educación deben ser garantizados respecto a su contenido. Uno de los requisitos que impuso la juzgadora para imprimir los textos es que el Poder Ejecutivo federal estableciera el contenido de los planes y programas de estudio para la educación básica y su publicación en el Diario Oficial de la Federación (DOF) y en los órganos informativos de cada estado.

una semana del inicio de clases, Yadira Medina Alcántara, titular del juzgado tercero de distrito en materia administrativa en la Ciudad de México,concedió el amparo a la Unión Nacional de Padres de Familia (UNFP) que ordena ala Secretaría de Educación Pública (SEP) y a la Comisión Nacional de Libros de Texto Gratuitos (Conaliteg)establecerunaestrategiacon autoridades educativas del país para instrumentar losprogramasylibrosdetextogratuitosaprobados paraelpróximocicloescolar,quecomienzael28de agosto.Padresdefamilia queman quemannuevosLTG LTG

Nohaymaneradepodercontener su enfado,su coraje y su rechazo ante el contenido que han encontrado en los nuevos libros de texto gratuitos,por lo que están dispuestos a agotar todas las instancias legales para frenar su distribución.

Así es como padres de familia de la Escuela Primaria "Benito Juárez García" delacomunidadSanAntoniodelMonteen SanCristóbaldelasCasas,Chiapas;tomaronladecisióndequemarloslibrosdetexto gratuitos que envió la Secretaría de Educación Pública (SEP).

Los padres señalaron estar molestos con el contenido e imágenes que se ilustran en los libros de texto gratuito pues afirman que podría afectar la educación de sus hijos.

Posterior a una reunión que realizaron en el día, más de 300 padres de familia

que representan a más de 500 niños y niñas de primero a sexto grado,firmaron un documento donde manifiestan su inconformidad por el contenido de los libros, diferentes a los que cuando fueron niños pudieron leer.

Jóvenes y adultos prendieron fuego a unos mil libros a la vista de niños que estudian en esa primaria.

Sobre dicho tema,las autoridades educativas de la comunidad,afirmaron que el director y los maestros de la escuela fueron notificados y dijeron que respetarían la decisión de la asamblea.

Los representantes de la comunidad dijeron que les ha molestado que se les enseñe a los niños, que personas del mismo sexo,pueden ser parejas o llegar a casarse.

Varias comunidades de la zona Altos de Chiapas han manifestado su inconformidad y se sabe que en otras, tomarán las mismas acciones y quizá revisen los libros de años anteriores.

enviadosporSEPaChiapas NACIONAL5
MARTES 22 DE AGOSTO 2023

Ricardo Monreal dijo que Morena no puede permitir el retorno de aquellos que saquearon,sinmisericordiaysinsanción,a nuestro país,por lo que pidió que la elaboración de lasencuestas,para definir a quien coordinará laDefesadelaCuartaTransformación,serealice con altura de miras,sindivisiones y con la unidad y cohesión del movimiento.

Dijo que el movimiento no se puede dividir y necesita estar unidopara "enfrentaral poder conservador que por momentos amenaza el progreso y el cambio de México"

"No podemos admitir el retorno de aquellos que saquearon, sin misericordia y sin sanción,a nuestro país.No podemos permitir que regresen aquellos que hicieron del ejercicio de gobierno un ejercicio de corrupción y de saqueo de nuestra nación",expresó.

En una asamblea informativa, que realizó en la alcaldía de Gustavo A. Madero, el doctor

MatíasPascal

Diversosestudiossobrelademocracia aseguranqueelmundoestáviviendo unafuertecrisisdemocrática,actualmentehaymáspaísesretrocediendoycayendo enfuertesautoritarismosquenunca.

DespuésdelfindelaHistoriaquemuchos expertospredecíanposterioralacaídadel MurodeBerlínen1989yelfindelcomunismo,conlavictoriadelliberalismodemocráticosepensabaqueelmundoenteroseríauna grandemocraciafelizyprospera.

Indudablemente,nosepuededejardeanalizarlademocraciahondureñaconloqueestá pasandoenelrestodelmundo,eslacara amargadelaglobalización.PeroHonduras tienesusparticularidadesquehacenquesu crisisdelademocraciatengamanifestaciones yconsecuenciaspropias.

Ahorabien,enMéxico,nosencontramos anteunnuevoprocesoelectoralendonde nuevamentenostocaelegirnuestrodestino comonación,aunqueparamuchosdala impresiónqueestásecuestradoporpolíticos rapaceseinsensibles.

Momentoparareflexionarsobreloque decíaWinstonChurchill:"lademocraciaes elpeorsistemadegobierno,aexcepciónde

COLUMNAPOLÍTICA

Morena Morenanopuedepermitiraquellos nopuedepermitiraquellos quesaquearonalpaís: quesaquearonalpaís:Monreal Monreal

destacó la importancia de que cada vez sean mejores los representantes populares. En este sentido, afirmó que dará la sorpresa en los resultados de las encuestas que aplicará

Morena

El próximo 28 de agosto, recordó, será el último día para que los aspirantes de Morena realicen asambleas informativas en todo el país,por lo que ya es la recta final del proceso interno.

Tambiénexplicóque este métodono incluye una elección directa, por lo que no se instalarán casillas ni urnas, sino que se aplicarán encuestas.

Reconocióqueen todoprocedimientodeeste tipo, siempre los últimos días son los más complicados,complejos y sinuosos,porque hay que ponersedeacuerdosobreelnúmerodeencuestas que se van a levantar, las características de las muestras y en qué secciones electorales se van a realizar.

Además, se tendrá que definir el universo a investigar,el número de cuestionarios, las preguntas y los resultados de la encuesta, "pero todo eso tiene que realizarse con altura de miras, con unidad y cohesión; no nos podemos

todoslosdemásquesehaninventado"; estonosobligaatodasyatodoslosquequeremosvivirenlibertadyprosperidad,atrabajarfuerteycolectivamente.

Ytambiéndiría:"sólomefíodelasestadísticasquehemanipulado",quedescribe loquesepuedeconocercomounaparadoja estadística.

Enteoría,lasestadísticasy,enespecífico lasencuestas,permitencuantificardemanera objetivaunaspectodelarealidad.Dichode otromodo,segúnRicardoMonreal,posibilitantenerunafotodeunmomentodeterminado,elcual,asuvez,nosorientaacercadelas accionesquesedebentomarparacorregir algúnimperfecto.

Unsegundoobjetivoousodelasencuestas, paraelsenadorconlicencia,esayudarnosa predecirtendencias,quetambiénorientanla tomadedecisiones.

Porejemplo,siunGobiernoquiereconocer elsentirciudadanorespectodealgúntemaque sedebelegislar,unabuenamaneraderecolectarinformaciónsonlasencuestas.Lomismo aplicacuandoqueremossaberquiénpudiera representarunmovimientopolítico,conaltas probabilidadesdequeseleelijaporlavía democrática.

Ensíntesis,lasencuestas,entantoinstrumentosestadísticos,fueronideadasparatener unreflejodelarealidad,objetivoylibrede sesgos.Sinembargo,hoyporhoy,suusoseha distorsionadoypervertidoparaelfincontrario:manipularloquerealmenteestásucediendo

ParaelacadémicodelaUNAMunaencuesta imparcialyrigurosagarantizaráqueseelijade

dividir,tenemos que estar unidos para enfrentar al poder conservador que por momentos amenaza el progreso y el cambio de México".

"Quiero pedirles que no desmayen,que no apaguen la luz de la esperanza, que confíen, porque novoy afallar.Confíen,porquevamos a dar una muestra de fortaleza y una muestra de unidad en todo el país"

Ricardo Monreal dijo que está preparado para enfrentar los grandes retos que tiene México, para reforzar las medidas para atender los problemas de salud y en materia educativa. También "vamos a revisar la estrategia de seguridad pública, para hacerla más eficaz, en beneficio de la gente que sufre las embestidas de la delincuenciay el crimen organizado"

Ésa,subrayó,es su prioridad:atender a los pueblosy las colonias, y resolver los problemas que todos los días padecen las y los mexicanos.

Monreal informó que mañana acudirá a Sonora, que el miércoles estará en Guerrero, para cerrar las asambleas informativas el sábado, 26 de agosto, en la Plaza de las Tres Culturas de Tlatelolco.

manerajustaaquiencoordinarálosComitésde DefensadelaCuartaTransformación,pero tambiénevitaráunaparadojaestadística,sentandolasbasesparafuturasdecisionesdemocráticas,comoeselprocesoelectoralde2024 "Noolvidemosquenuestrabúsquedadeun Méxicomásdemocráticoyparticipativose reflejaráencadapasoquedemosdeahoraen adelante",precisaríaenunartículodeun periódicoanivelnacional.

Enestecontexto,adecirdeMonreal,cobran especialrelevancialosdetallestécnicosrelativosalaencuestaparaelegiraquienseráresponsabledecoordinarlosComitésde DefensadelaCuartaTransformación.

Habríaquerecordarquelasemanapasada,enreuniónapuertacerrada,seefectuóel sorteodelascuatroempresasqueseencargaránderealizarlaencuesta.Allíestuvieron presentesrepresentantesdelaylosaspirantesacoordinarlosComitésy,porpartede MonrealÁvila,sedejaríademanifiestosu decisióndefirmarlosresultadosconreserva.

Díasposteriores,daríanaconocersu determinacióndecederellugardela encuestadoraquepropusoelequipodel senadorconlicencia,enarasdefortalecerla unidadylainclusión.

"Noesrecientemiposturadedefenderla transparencia,laparticipaciónciudadanay lanecesidaddequelaencuestadoraque realiceelsondeoseajustayrigurosa,ya queestaesunaoportunidadparareforzar losvaloresdemocráticosquesustentanla CuartaTransformación",subrayaríaelpolíticodeorigencampesino.

7 MARTES 22 DE AGOSTO 2023
Estadísticasy Estadísticasy encuestas encuestaspermiten corregiralgúnimperfecto
KARINA ROCHA

EE.UU.pediráhasta

20milmddde indemnizacióna México Méxicoporpanelde controversiadelT-MEC

Aunque el informe final del panel de solución de controversias respecto al maíz transgénicosedaráaconocerhastamarzo de 2024,perderlo tendría un costo de entre 4 mil a 20 mil millones de dólares para México, de acuerdocon expertos.

Nohabrárepresalias arancelariasdeEE.UU.: secretariadeEconomía

Para la secretaria de Economía, RaquelBuenrostroSánchez,nohay duda de que los especialistas que conformen el panel de solución de controversiascontraeldecreto delgobierno mexicano para no usar maíz transgénico para consumo humano le darán la razón al país y no habrá represalias arancelarias de Estados Unidos.

De igual manera,asegura que tampoco se llegará a otro panel contra México, luego de que Estados Unidos y Canadá solicitaron en julio de 2022 iniciar consultas con México en relación con varias disposiciones que favorecen a Petróleos Mexicanos (Pemex) y la Comisión Federal de Electricidad (CFE).

Vale recordar que la Representación Comercial estadounidense (USTR, por sus siglas en inglés) solicitó establecer un panel de solución de controversias contra la prohibición mexicana al maíz transgénico para consumo humano, para que determine si se cumple o no con el Tratado entre México, Estados Unidos y Canadá (T-MEC), argumentando que no hay evidencia científica de que produzca daños y porque afecta a sus exportadores.

Ante ello, Buenrostro Sánchez dice que se propondrá que sean panelistas "losmejoresespecialistasanivelcientífico, de investigación, salud, medioambiente y biodiversidad".

Además, confió en que el gobierno de Estados Unidos no podrá demostrar una afectación comercial "porque no estamos violando elT-MEC".

"Lo que parecería que es una violación al tratado es que nosotros no estemos considerando bases científicas, lo cual es falso.Solamente hay que leer el decreto en donde viene el mismo texto del T-MEC, y fuera de eso,(los estadounidenses) no tienen otra cosa", afirma.

El tema de un posible daño a la salud no es comercial, señala, además de que "no prohibimos la importación, que ha estado creciendo". Se propuso integrar un grupo de científicos para analizar si hay o no daños al ser humano al consumir maíz transgénico, pero "Estados Unidos no ha querido participar" y no da argumento de por qué no lo hace, destaca.

Con la confianza de que México ganará el proceso sobre el maíz transgénico, afirma que también "se desactivó" la posibilidad de tener un panel contra México en materia de energía porque ya se atendieron las preocupaciones de Estados Unidos y Canadá al respecto.

"Nosotros creemos que está desactivada la posibilidad de un panel en materia energética (contra México), y más bien estamos en pláticas para implementar el mecanismo que permitirá bajar formalmente la discusión energética de los paneles", añade.

"Había una presunción de discriminación,pero obedecía a un rezago (en trámites) por el Covid-19. Lo que estamos buscando es un acuerdo entre las partes para darleseguimientoaque eserezagosevaya abatiendo,no como consulta o amenaza de panel, por así decirlo, sino simplemente como un mecanismo de coordinación y seguimiento del trabajo", finalizó.

Sobre este complejo tema, el senador de Iowa, Chuck Grassley, y la senadora de Nebraska, Deb Fischer, han manifestado opiniones encontradas sobre el monto que Estados Unidos debería reclamar en caso de obtener un fallo favorable. Grassleysugiere una cifra de 4 mil millones de dólares, mientras que Fischer aboga por una compensación hasta de 20 mil millones de dólares, citando diversos factores que deberían ser consideradosen la indemnización.

De acuerdo con los datos disponibles, en 2022 México adquirió más de 4 mil millones de dólares en maíz a Estados Unidos, consolidándose como el segundo destino más importante para lasexportacionesdemaízdespuésdeChina.Esta compra representó la adquisición de más de 15 millones de toneladas de maíz, lo que subraya la dependencia actual del mercado mexicano en las importaciones de este producto.

"Independientemente del monto reclamado por Estados Unidos, el panel de solución de controversiasseráelencargadodedeterminarlacifrafinalde la compensación, pudiendo ser mayor, menor o igual a lo que pide el USTR,en caso de que proceda", afirman especialistas en materia económica.

Desde que se puso en marcha elT-MEC en julio de 2020, se ha invocado seis veces el mecanismo de solución de controversias del Capítulo 31,y de esas seis solicitudes,tres han llegado hasta la instancia final del panel con fallos favorables para los paísesdemandantes.Elpaneldesolucióndecontroversias por el maíz transgénico se considera yael número cuarto.

Se advierte que en caso de que México pierda el caso,EstadosUnidos podría optar por establecerarancelesaproductosmexicanos,incluyendo aquellos del sector agroalimentario donde Méxicoes altamentecompetitivo.

Segúnlosexpertosdelafirmalegal,estasrepresalias podrían afectar una variedad de productos mexicanos destinados al mercado estadounidense, incluyendotequila,aguacate,berries,productoscárnicosycerveza,entreotrosproductosagroindustriales de éxito exportador.

8 MARTES 22 DE AGOSTO 2023 NACIONAL
TANYA ACOSTA

MARTES 22 DE AGOSTO 2023

AMLO AMLOcontinúaataques continúaataques hacia haciaXóchitlGálvez XóchitlGálvez

ROBERTO MELENDEZ S.

Miles de militantes panistas, sin presión alguna, solicitaron a Santiago Creel Miranda declinar en favor de la senadora XóchitlGálvezRuiz en lacontiendaquese realiza en el Frente Amplio por México con miras a la candidatura presidencial de las eleccionesdel añoentrante.Ymientrasel presidente Andrés Manuel López Obrador sigue en su empeño de atacar a la legisladora,lo que indudablemente favorece a su "corcholata" favorita, Claudia Sheinbaum Pardo, quien a últimas fechas ha venido a la baja y tenido que recurrir presuntamentea la dádiva yel apoyo del erario e instituciones federales para la realización de las conferencias informativas relacionadas con la defensa dela Transformación.

De acuerdo a algunas encuestas,la senadora hidalguense se mantiene a la cabeza de los posibles candidatos del FAM, superando ampliamente a Creel Miranda y seguida no muy de cerca por la priista y exgobernadora de Tlaxcala, Beatriz Paredes Rangel, una mujer con amplia experiencia y conocimientos en el quehacer público.

Durantetodalamañanaytardedeeste lunes 22 de agosto,miles de militantes y simpatizantes panistas, de manera respetuosa, pidieron a Santiago Creer Miranda considere la posibilidad de declinar en favor de Xóchitl, quien en entrevistasostuvoquesiestuvieraenelcasode Santiago, sin dudarlo, declinaría en favor de éste, lo que indudablemente fortalecería al FrentecompuestoporelPAN-PRI-PRD

Todo parece indicar que la elección para suceder a López Obrador en la silla presidencial será entre dos mujeres; Xóchitl Gálvez Ruiz y Claudia Sheinbaum Pardo, quien cuenta con el apoyo, la inocultable, de López Obrador y el líder nacional del Movimiento de Regeneración Nacional, Mario Delgado Carrillo,quien a pesar de las denuncias que los propios morenos han hecho en su contra sigue en el cargo, seguramente porque, al igual que la exjefa de gobierno, acatan, sin quitarle una sola coma, lasórdenes delinquilinode PalacioNacional, loquefueabordadoenelnoticiarioestelarde unomásuno, Cambiando de Tema Noticias, por los periodistas Gerardo Cuesta y Raúl Ruiz Venegas, quienes, bajo la dirección de nuestro presidente editor, Naim Libien Kaui, destacaron que de nuyeva cuenta,en su conferenciamañana, López Obrador, sin citarlapor su nombre, volvió a atacar a Xóchitl Gálvez al asegurar que había dicho que los trabajadores delsureste delpaísno aguantan jornadaslaborales de ocho o más horas de manera continua, comolohacenlostrabajadoresdelazonanorte enlasmaquiladoras,yaquelascondicionesson

diferentes en ambos puntos. Jamás los califiquedeflojos,peronuevamentesacandecontexto mis expresiones, las que siempre han sido de respetopara todos,perolasagresiones continúan por parte del presidente, quien no acata y mucho menos respeta las resoluciones de las autoridades, ya sean electorales o jurisdiccionales.

Cambiando de Tema, los conductores del noticiario destacaron la precariasituaciónque enfrenta el sector salud en el país, lo que muchos observadores estiman fue un factor determinante para que el director general del IMSS-Bienestar,Zoé Robledo Aburto, declinara en sus aspiraciones a la candidatura para el gobierno del estado de Chiapas, donde la situación es igual o más delicada que la del Instituto Mexicano del Seguro Social, quien ahora tiene que "cargar" con la "monserga" de Bienestar, organismo que vino a suplir al INSABI, el que a su vez llegó para sustituir al SegurodelBienestar,elquebienquebienque mal atendía a millones de mexicanos que no contaban con seguridad social.

Del Insabi nada se sabe y mucho menos qué hizo con los miles de millones de pesos que se le destinaron.

Por cierto, la licenciada Andrea Rocha, representante legal de miles de enfermos de cáncer y otros males crónico degenerativos,afirmaqueenelpaís existenmiles de personasvíctimasdeestosmalessinqueselebrindelamínima de las atenciones en las instituciones de salud,por lo que sus existencias corren peligro, amén de que no hay medicamentos para atenderse. Expuso que a la fecha han fallecido, lamentablemente,porfaltadeatención ymédicas,másdetresmilpacientesconcáncer,porlo que exigió a las autoridades una mayor "sensibilidad" hace estas personas, a las que el gobiernofederal,comodiríaelclásico,ni lasve ni las escucha.

Cambiando deTema,durante su conferenciadel SalónTesoreríadePalacioNacional,el presidente López Obrador condenó el hecho de que en Chiapas hayan quemado libros de

textogratuitos,losqueafirmanotienennadade comunistas. "Quienes se manifiestan pensando que se adoctrina y se inyecta el "virus del comunismo" con los nuevos libros de texto gratuitos, están desinformados ymanipulado.

Están en su derecho de manifestarse,somos libres,nadamásque notienen razónquienesse manifiestan pensando que se adoctrina con los libros y se inyecta el virus del comunismo están desinformados y manipulados", ratificó el mandatario,quien hizo un llamado a la comunidad en general a efecto de que no se dejan manipular por los dirigentes, empresarios, traficantes de influencias del bloque conservador,porque eso es politiquería.

CambiandodeTema,vecinos del puertode Acapulco,Guerrero,anunciaron que realizarán bloqueos y manifestaciones contra el gobierno federalporeldespojoquelesquierenhacerde cientos de casas que resultaron afectados por temblores, pero que en realidad quieren apoderarse de los precios para la construcción de fraccionamientos de lujo,haciendo un llamado a las autoridades del Infonavit para que intervengan y analicen la situación.

CambiandodeTema,los periodistasdestacaron que durante la presente administración organizaciones del crimen organizado han colocado en diversos puntos de la geografía nacional más de dos mil explosivos, los que fuerondesactivadosy conelloevitaronlamuerte de muchos soldados y elementos de las Fuerzas Federales, estatales y municipales encargados de la seguridad

Cambiando de Tema, siguen los trabajos relacionadosconunamegamarchaarealizarse eldomingo27entodoelpaísenprotestaporel contenido de los nuevos Libros de Texto Gratuitos, en lo que los que no se consultaron maestros, padres de familia y otros sectores interesados en el caso.

Muchas gracias y hasta mañana. Recuerde que tiene una cita, a las 14:30 horas,con otro Cambiando deTema.

Sea feliz y no baje la guardia ante la Covid-19.

PROGRAMA11 TV
GerardoCuestayRaúlRuizVenegas

V V ÍCTOR ÍCTOR C C

URIOCA YY D D ANIEL ANIEL M M

Losverdaderosoperadorespolíticos verdaderosoperadorespolíticos yfinancieros yfinancierosdelGEM GEMyDel Del

Sehablademásde¡300milmillonesdepesosdedesfalco! ¡300milmillonesdepesosdedesfalco!delasarcasestatales,debieronsalir en"paraísosfiscales"(Andorra,Suiza,Francia,Alemania,España,Israel,Hamburgo,Holanda Andorra,Suiza,Francia,Alemania,España,Israel,Hamburgo,Holanda Curioca,ostentabaoficinaalternaaladelgobernadorparainstruiradirectoresadministrativos aquiénesotorgarconcesionesycontratos,paraluego,él,cobrarlascomisionesrespectivas paraluego,él,cobrarlascomisionesrespectivas MadariagaBarrilado,señaladoporpresuntamente"limpiar" "limpiar"cuentasdeDelMazoenAndorradonde bientes". bientes".

KarinaRochaPriego/ INVESTIGACIÓN

-SEGUNDA PARTE-

Como veníamos comentando el día de ayer y,para acabar pronto, Víctor Rodrigo Curioca Ramírez, esquien mueve al Gobierno del Estado de México, para complacencia de AlfredodelMazo Maza, al grado de que ¡no sale un peso de la administración delmacista,ymucho menos un contrato o concesión sin que este sujeto autorice u ordene!; incluso, es fecha en que todo tiene que pasar por sus manos.

Sibienesciertoqueestefue cesado de la administración delmacista, ello se dio para "protegerlo", sin embargo, Curiocasiemprehacontado conunaoficinaalternapara recibir a los directores de administración de las diferentes áreas del Gobierno del Estado para instruirlos de a quién se entregan los contratos, mientras él se encargadecobrarlascomisiones y,atravésde estructurasydiferentesempresas, llevar a cabo el millonario "lavado de dinero".

VíctorRodrigo CuriocaRamírez

Se dice,incluso,que para este,ha sido prioridad hacer negocios con cercanos,parientes o amigos de Curioca Ramírezy Del Mazo,limpiando conello "laimagencorrupta"(sic)delgobernador, pero siempre con la zozobra de que será este quien tenga que pagar los excesos de la administración estatal, y se habla de más de ¡300 mil millones de pesos de desfalco! a las arcas estatales, millones que de una u otra manera debieron salir del país para ubicarlos en "paraísosfiscales".

¿Porquépiensausted,queridolector,quetenía tanta urgencia Del Mazo de entregar a Morena el Estado de México? ¡Por el pacto de impunidad que ello significaba!, pues este ¡abusó de los recursosdelosmexiquenses!, haciendo uso de sus "prestanombres,compadres y amigos" para,supuestamente,él salir "bien librado".

Lo que no sabe o no cree Curioca Ramírez es que,alentregarDelMazolaadministración(14 deseptiembre), este obtendrá "unbonodelealtad" de parte del Gobierno Federal, como sería la EmbajadadeMéxicoenItalia y,conello ¡olvidarse del Estado de México, los mexiquenses, sus compadres y amigos!, quienes tendrán que soportar la embestida de investigaciones, procesos penales y hasta cárcel, contra quienes hayan "sido comparsas" del todavía gobernadordelEstado deMéxico.

Pero estaráusted de acuerdo en que,sinosellevan a cabo esas investigaciones,exhibiendo el

roboindiscriminadocometidocontraelEstado deMéxico, esporquelanzaránunaordenprecisa desde Palacio Nacionalpara evitar que Del Mazo sea investigado, por el pacto "de impunidad", que cobró un muy alto costo el pasado6dejunio Un hecho idéntico al suscitado con el expresidente Enrique Peña Nieto -pariente de Del Mazo- quien,pese a las amenazas del entonces "candidato"Andrés Manuel López Obrador de acabar con él y la mentada "mafia del poder" encabezada por PeñaNieto,"lodejaronescapar" con todo y los cientos de miles de millones saqueados a México, desde la Presidencia delaRepública.

Sin dudarlo, Víctor Rodrigo Curioca Ramírez, resultó ser un genio como operador financiero,quien se ha mantenido,desde el inicio de la administración, detrás de Alfredo del Mazo Maza para lograr sus fines de enriquecimiento, pero este, no debe olvidarque estáyaenlamiradela4T, la Unidad de Inteligencia Financiera y, la administración de Del Mazo, de la Auditoría Superior de la Federación, para las

los

California.
investigaciones Alfredo
ches, administración Obrador", la dora dedo Por do Daniel especialista tentabilidad movilidad,
ADARIAGA ADARIAGA
URIOCA
MARTES 22 DE AGOSTO 2023 18 ESTADODEMEXICO

espolíticos políticos DelMazo DelMazo

ieronsalirdelpaísparaubicarlos olandaypaísesárabes) olandaypaísesárabes) trativosdelGobiernodelEstado

ivas ivas

ndorradondeambosson"cuentaha "cuentaha-

investigaciones correspondientes.

Alfredo del Mazo, simplemente, creyendo "en los Reyes Magos", supone que "él y compinches,nuncaserán tocadospor lo que restade la administración de Andrés Manuel López Obrador", después,quiénsabe,perosediceque la maestra Delfina Gómez Álvarez, gobernadora electa del Estadode México,"noquitaráel dedo del renglón.

Por otro lado,sale a relucir el nombre del segundo "hombre de confianza" de Del Mazo Maza: Daniel Madariaga Barrilado; empresario y especialista en parque vehicular,comodidad,sustentabilidad y tecnología aplicada en temas de movilidad,quienactualmenteradicaenSanDiego, California.

Este, que forma parte del escándalo de 2019 cuando salea la luzla cuenta millonaria que ocultara el gobernador del Estado de México en Andorra Andorra, entonces algo así de 4.5 millones de euros, pues al parecer

figuraba como "representante" de la sociedad instrumental holandesa Abeodan Corporation, escándalo por el cual el Gobierno Federal puso "contra la pared" al gobernador mexiquense,a quien movieron como "marioneta" al antojo de quienostenta el poder de la nación,obligándolo a entregar el poder del estado a Morena. También,sedioaconocerque,ensudeclaración debienesdeenerode2017,Del Mazo omitió su relaciónconestebancoandorrano,laexistencia delasociedadinstrumentalholandesa,lacuenta millonaria asociada a la misma y una supuesta participación en unaempresamexicana de aparcamientos (Daniel Madariaga).

Peroentonces,sefiltró que Del Mazo ounrepresentantedelpolítico,comunicó al banco quesus planes pasaban por transferir al pequeño principado europeo hasta 4,5 millones de euros. De esta cantidad, 2,5 millones procederían de un dinero "depositado en Suiza", otro país protegido en 2012 por el secreto bancario Fueentonces cuando Del Mazo Maza reconoció una relación "de amistad" con el contratista Daniel Madariaga,también vinculado a la citada cuenta.

Un acta interna del banco andorrano que mencionaba a Del Mazo,advertía que,presuntamente este poseía acciones de dicha compañía de aparcamientos Pumasa SA de CV. (Madariaga Barrilado).

Según el documento, Del Mazo consiguió estas participaciones "por cesión" de uno de los accionistas, el contratista Daniel Madariaga, su "amigo y socio".

Sin embargo, en el registro de sociedades de México,niDel MazoniMadariaga figurancomo accionistas de Pumasa SA, sólo aparece uno de loshermanosdeesteúltimo.La cuentarepresentada por Del Mazo en la BPA está vinculada a Madariaga y al salvadoreño Vicente Eduardo Graniello Pérez.

Rodrigo Curioca Ramírez, ha permitido que el dinerodelEstadodeMéxico,saqueadoporestos "angelitos" a los mexiquenses, siga el rumbo (spray) en paraísos fiscales en Andorra, Suiza, Francia, Alemania, España, Israel, Hamburgo, Holanda y países árabes, naciones que se prestanal lavado de dinero.

Quedaclaroque "elcírculo de corrupción" conformado por Alfredo del Mazo Maza, Daniel Madariaga Barrilado y Víctor Rodrigo Curioca Ramírez -y otros peones de su administación-, les ha generado multimillonarias ganancias en detrimento del Estado de México y los mexiquenses, dejando al descubierto que, estos dos sujetos, han manejado, manipulado y saqueado, tras bastidores, a la entidad mexiquense, pues desde el inicio de la administración delmacista,sonlos encargadosde ¡todo,absolutamente todo! en esta administraciónestatal.

Ahora bien,la empresa Pumasa S.A.de C.V., de la que el gobernador del Estado de México, Alfredo del Mazo,declaró en 2012 ante un banco en Andorra ser accionista, recibió contratos públicos millonarios al tiempo que el priista ocupaba distintos puestos públicos. Desde su creación en 2006 2006, Pumasa obtuvo al menos 20 contratos con seis dependencias de gobierno para operar estacionamientos con un valor de al menos 47 millones de pesos,además del cobrodiariode2mil700cajonesdeestacionamiento en el Bosque de Chapultepec desde hace siete años y 2 mil 32 cajones en el Aeropuerto de Toluca, todo avalado por Del Mazo a favor desu amigo Daniel Madariaga. Hoy,sedice,el hechoporelcual Del Mazo Maza considera "un segundo de a bordo" a DanielMadariaga,hasidoporqueeste, presuntamente se prestó a "limpiar" lascuentasdeltodavíagobernadordel Estado de México luego del escándalo de Andorra,fingiendo una "sociedad" con él,en Pumasa.

La lealtad de Del Mazo hacia Madariaga Barrilado y la presunta complicidad con Víctor

Porloanteriory,antesdequeDelMazo entregue la administraciónmexiquense "y se esfume", es urgente la intervención de la Fiscalía General de la República, la Auditoría Superior de la Federación, la Fiscalía mexiquense y el Congreso delEstado, enunafánde evitarquehagan uso de los recursos amasados en estos últimos seis años,porestepardevivalesque,protegiéndose con la imagen de Del Mazo Maza y con su venia se están llevando cientos de miles de millones de los habitantes del Estado de México, dejando, para futuro, concesiones, empresas e industrias, mismas que les seguirán dando multimillonarios dividendos, por el resto de sus vidas.

ado las
M M ADARIAGA ADARIAGA DanielMadariaga DanielMadariaga AlfredodelMazoMaza AlfredodelMazoMaza ESTADODEMEXICO MARTES 22 DE AGOSTO 2023 19

Másde Másde13milhectáreas 13milhectáreas

Dañadas Dañadas trasincendio trasincendio

enTenerife;afectacalidaddelaire enTenerife;afectacalidaddelaire

Hasta ahora, el fuego ha consumido más de 13 mil hectáreas.Las llamas siguen sin poder controlarse del todo. Sin embargo, el presidente de Canarias,Fernando Clavijo,manifestó que la evolución del incendio durante la noche fue favorable,pero“no exenta de dificultades para los equipos de extinción“.

Una Una desfavorable desfavorable calidad del aire calidad del aire

La calidad del aire, de hecho, pasó a ser ayer lunes muy desfavorable en 19 municipios, y en particular en Los Realejos, La Orotava y Arafo, según ha informado el Centro Coordinador de Emergencias y Seguridad112.

Los esfuerzos por contener Los esfuerzos por contener las llamas dan sus frutos las llamas dan sus frutos Después de una jornada de arduo trabajo el domingo, los esfuerzos por contener el incendio, que desde hace siete días azota Tenerife, comienzan, aunque muy lenta-

mente, a dar sus primeros resultados positivos. Aunque las llamas aún no están bajo control, las autoridades de la isla han apuntado a "cierto éxito" después de una jornada de arduos trabajos.

El frente sur del fuego, que ya presenta un perímetro de 90 kilómetros,está estabilizado y durante el día los trabajos se han concentrado en el norte y, especialmente, en los altos del municipio de Güímar, donde el incendio ha adquirido una intensidad alarmante.

No hay No hay viviendas afectadas viviendas afectadas

La presidenta del Cabildo de Tenerife, Rosa Dávila, ha asegurado que no se tiene constancia de que se haya perdido alguna vivienda por culpa del incendio y también ha expresado que, si bien el escenario aún es complicado, se empiezan a dar situaciones más favorables. Además, Dávila ha apuntado que el canal de Aguamansa,que presentó una rotura días atrás, ya se encuentra operativo después de que en la mañana del domingo efectivos del Con-

sorcio de Bomberos.

Sánchez, en Tenerife Sánchez, en Tenerife

El presidente del Gobierno en funciones, PedroSánchez, viajóayerlunesaTenerifepara visitar la zona afectada por el incendio que se originó el pasado martes en la isla y que ya alcanza las 11mil600 hectáreascalcinadas. Según ha informado el Gobierno en un comunicado, el jefe del Ejecutivo en funciones estará acompañado por el presidente de Canarias, Fernando Clavijo; el ministro de Industria, Comercio y Turismo en funciones, Héctor Gómez; y el delegado del Gobierno en esta comunidad autónoma, Anselmo Pestana, y se desplazará al municipio tinerfeño de Arafo, donde visitará el Puesto de MandoAvanzadoparaconocerlaslaboresde extinción del incendio por parte de los equipos desplegados en la zona.

Una vez finalizada la visita al PMA, Sánchez realizará una declaración ante los medios de comunicación.El incendio que arrasa la isla española deTenerife,que se declaró el pasado martes, fue intencionado.

20 MARTES 22 DE AGOSTO 2023 MUNDO

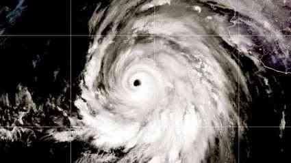
La tormenta tropical Hilary giró hacia el norte el domingo frente a la península de Baja California, en México.Ya no es un huracán, sino un ciclón,peroaún arrastra muchalluvia y los meteorólogos dijeron que es probable que se produzcan inundaciones "catastróficas y potencialmente mortales" en una amplia región del suroeste de Estados Unidos.

En su reporte más reciente a las 8 de la mañana, el Centro Nacional de Huracanes de Estados Unidos indicó que Hilary se encontraba al sur-sureste de San Diego, California, con vientos máximos de 110 km/h y avanzaba hacia el noroeste a 41 km/h .

Las ciudades mexicanas de Ensenada y Tijuana permanecen directamente en el trayecto de la tormenta tropical y los meteorólogos advirtieron que, a pesar de debilitarse, seguía siendo traicionera.

De acuerdo con los meteorólogos, todavía se espera que la tormenta entre en los libros de historia como la primera tormenta tropical que azota el sur de California en 84 años, y que traiga consigo inundaciones repentinas,deslizamientos de tierra,tornados aislados, fuertes vientos y apagones generalizados.

El pronóstico llevó a las autoridades a emitir un aviso de evacuación para la isla de Santa Catalina, instando a los residentes y bañistas a abandonar el destino turístico a 37 kilómetros de la costa.

Elizabeth Adams, meteoróloga de la oficina del Servicio Meteorológico Nacional en San Diego,dijo que la lluvia podría caer hasta 7,62 centímetros por hora en las montañas y desiertos del sur de California, desde el domingo por la mañana hasta la tarde. Las intensas lluvias durante esas horas podrían causar inundaciones repentinas generalizadas y potencialmente mortales.

Emiten orden de refugio Emiten orden de refugio en el lugar para algunos en el lugar para algunos residentes en el condado residentes en el condado de San Bernardino de San Bernardino

El Departamento del Sheriff del condado de San Bernardino emitió una orden de refugio para algunos residentes del condado, debido al barro y los escombros que bloquean una carretera.

"Debido a la lluvia actual, hay lodo y escombros bloqueando la carretera.Una orden de refugio en el lugar ahora está vigente para la comunidad de Forest Falls y los residentes en Oak GlenRoad,desde Casa Blanca Street hasta Harris Road", publicó el Departamento del Sheriff en las redes sociales.

Bomberos del condado Bomberos del condado deVentura rescatan a deVentura rescatan a personas del río personas del río

Las autoridades del condado de Ventura realizaron una operación de búsqueda y rescate en el río Santa Clara este domingo por la noche después de que varias personas quedaran atrapadas.

MARTES22DEAGOSTO2023
AGENCIAS

Turn static files into dynamic content formats.

Create a flipbook
Issuu converts static files into: digital portfolios, online yearbooks, online catalogs, digital photo albums and more. Sign up and create your flipbook.