IM - 194 Bruce Highway, Burpengary

Page 1


194 Bruce Highway Eastern Service Road, Burpengary East QLD 4505

Substantial 2.05 ha site with modern industrial facilities, expansive concrete yard, and additional unsealed hardstand. Direct Bruce Highway exposure — approx. 60,000 vehicles per lane daily.

Introduction

Tourism Holdings Limited (“THL”) has appointed RWC Queensland to manage the leasing transition for 194 Bruce Highway Eastern Service Road, Burpengary East QLD 4505, in consultation with the Lessor.

Following an operational review, THL has identified the Burpengary facility as surplus to its ongoing requirements and now seeks to engage with qualified occupiers for potential sub-lease, assignment, or surrender and direct-lease opportunities, in collaboration with the Lessor.

Prominently positioned with direct exposure to the Bruce Highway – one of Queensland’s highest-traffic arterial corridors carrying approximately 60,000 vehicles per lane daily –, the property represents a substantial, high-profile industrial opportunity rarely available in this corridor.

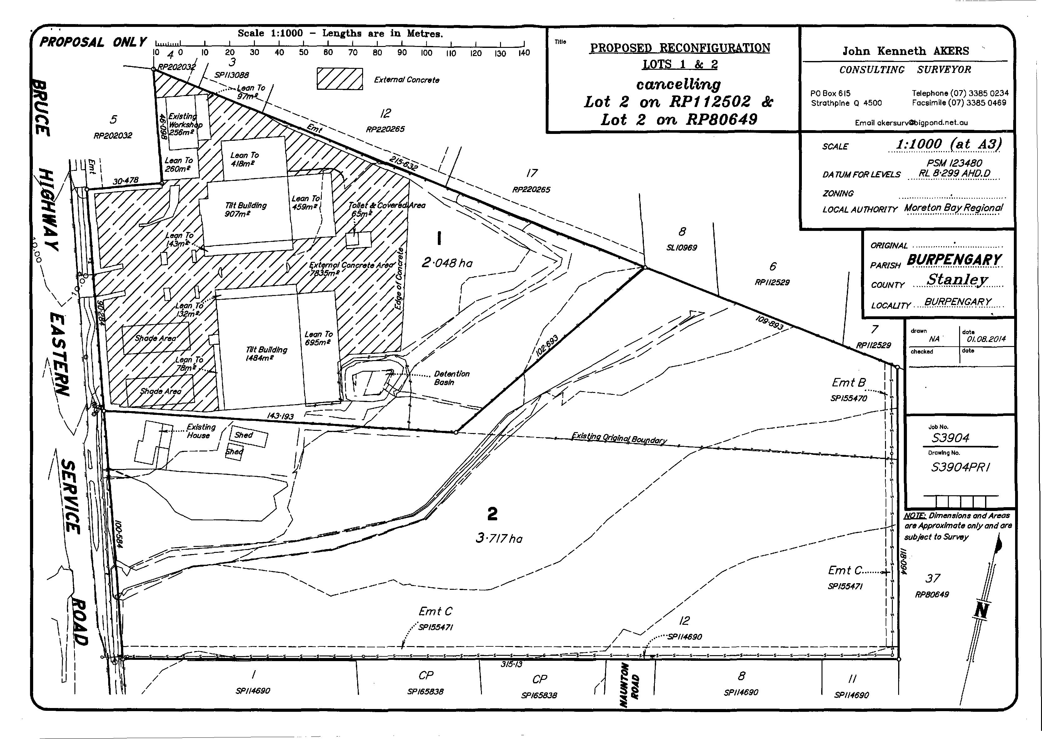
The site comprises a functional multi-facility layout totalling approximately 4,700 square metres GFA across 2.05 hectares of land, incorporating modern industrial facilities with expansive concrete yard areas supported by additional unsealed hardstand — well suited to large-format display, service, or transport operations.

This Information Memorandum has been prepared by RWC Queensland to provide an overview of the property, its improvements, and the principal lease parameters. It is issued on a without-prejudice basis and subject to the consent of the Head Lessor.

Paul Anderson

RWC Queensland 0438 661 266 p.anderson@raywhite.com

Andrew Doyle

RWC Queensland 0412 853 366 andrew.doyle@raywhite.com

Aaron Canavan

RWC Northern Corridor Group 0447 744 948

aaron.canavan@raywhite.com

Troy Sturgess

RWC Northern Corridor Group 0432 701 600 troy.sturgess@raywhite.com

Executive Summary

CURRENT SITUATION

Tourism Holdings Limited (THL) has identified the Burpengary facility as surplus to operational requirements and is seeking qualified occupiers via sub-lease, assignment, or direct lease in consultation with the Lessor.

ADDRESS

194 Bruce Highway Eastern Service Road, Burpengary East QLD

RPD Lot 1 on SP279522

LAND AREA 2.05 hectares

ZONING Light Industrial

IMPROVEMENTS

ASKING RENTAL

OUTGOINGS

LEASE TERM

Modern industrial facilities with expansive concrete yard and additional unsealed hardstand areas.

$1,125,000 per annum net + GST

$138,580 per annum + GST

To current expiry of 31 October 2029 for sub-lease, or by negotiation with the Lessor for suitable occupiers.

AVAILABILITY December 2025

Paul Anderson – RWC Queensland

Andrew Doyle – RWC Queensland

AGENTS

Aaron Canavan – RWC Northern Corridor Group

Troy Sturgess - RWC Northern Corridor Group

Improvements Overview

The property comprises a substantial industrial complex positioned across 2.05 hectares* of prime freehold land with direct frontage to the Bruce Highway Eastern Service Road.

Improvements are arranged to deliver maximum functionality and exposure, combining expansive hardstand, multiple building configurations, and excellent vehicle access throughout.

The site features a series of modern, steel-framed industrial buildings complemented by extensive yard areas and supporting infrastructure.

All improvements are presented in excellent condition, providing immediate utility for display, service, storage, or transport-based operations.

Key characteristics include:

• Expansive concrete yard areas providing heavy-duty load capacity for vehicle display, equipment operations, or logistics use.

• Additional unsealed yard to the rear of the property offering further flexibility for laydown or overflow parking.

• Dual crossovers from Eastern Service Road allowing full drive-around circulation for heavy vehicles.

• Multiple roller shutter access points servicing each structure for direct drive-in access.

• Integrated offices and staff amenities within the main building cluster.

• Full perimeter fencing and gated entry ensuring controlled access and secure on-site operations.

• Excellent visibility from the Bruce Highway, enhancing profile for display or branded operations.

The overall layout supports a broad range of potential uses — including caravan or vehicle display, equipment hire, logistics, or light industry — with minimal adaptation required.

SITE AND BUILDING AREAS*

sqm* Covered / Lean-to Structures

*Subject to Survey

sqm*

sqm*

Location Overview

Positioned on the Bruce Highway Eastern Service Road, the property occupies a strategic midpoint between Brisbane and the Sunshine Coast , offering seamless access to both regions and the wider South East Queensland corridor. This location provides exceptional connectivity for occupiers servicing metropolitan, regional, or interstate markets.

The site enjoys direct exposure to the Bruce Highway, one of Queensland’s busiest transport corridors carrying approximately 60,000 vehicles per lane daily, ensuring unrivalled visibility and branding potential. Eastern Service Road provides easy local access and connectivity to the surrounding industrial and commercial precincts.

REGIONAL CONNECTIVITY

• 35 minutes* to Brisbane Airport and Port of Brisbane via Gateway Motorway

• 45 minutes* to Brisbane CBD

• 40 minutes* to the Sunshine Coast

• Immediate access to Burpengary, Morayfield, and Caboolture industrial zones, creating a powerful service and logistics network within the Moreton Bay region

DEMOGRAPHIC AND ECONOMIC CONTEXT

Burpengary East forms part of the Moreton Bay Regional Council — one of Queensland’s fastest-growing LGAs, with a population forecast to exceed 690,000 residents by 2041.

The region has experienced sustained industrial and commercial growth, driven by major infrastructure projects, highway upgrades, and continued housing expansion across the northern growth corridor.

STRATEGIC ADVANTAGES

• Prominent highway exposure enhancing brand profile and traffic capture

• Easy access for both north and southbound freight operators

• Expanding labour force and residential catchment providing a strong local workforce

• Proximity to major retail, service, and industrial nodes including North Lakes, Caboolture, and Narangba

• Supported by improving public transport infrastructure and arterial connections across SEQ

The combination of highway visibility, regional connectivity, and a growing local economy positions this property as an ideal base for national operators, regional service providers, or display-based businesses seeking maximum exposure in the northern Brisbane corridor.

Consultation with the Lessor

RWC Queensland has met with representatives of the Darveniza Group, the property’s Head Lessor, to ensure alignment regarding incoming occupiers and deal structures.

The outcome of those discussions is summarised as follows:

• Occupiers with corporate covenant strength and market capitalisation comparable to that of THL may be considered for a direct lease or assignment of lease.

• Occupiers demonstrating growth potential and suitable security may be offered a sub-lease, subject to the Lessor’s consent.

• The Lessor has confirmed a willingness to review proposals on a case-bycase basis, ensuring each arrangement aligns with their investment and risk parameters.

PART AREA OCCUPATION

Both THL (as Sub-Lessor) and the Darveniza Group (as Head Lessor) will consider part-area occupancies where operationally practical.

Part leases will be assessed individually based on configuration, access, and proposed use.

SUMMARY OF EXISTING LEASE TERMS (THL HEAD LEASE) Item

Lease Term 1 November 2024 – 31 October 2029

Rent Reviews Annual CPI

Asking Rental

Outgoings

$1,125,000 per annum net + GST

$138,580 per annum + GST

Permitted Use Caravan sales, service, and associated undertakings

Security

Bank guarantee equivalent to 6 months’ rent + outgoings

Make Good Full reinstatement to base building condition at expiry

Lessor
BH Way Pty Ltd ATF Bruce Highway Trust (Darveniza Group)
Lessee Tourism Holdings Limited (THL)

Annexure B - Lease Proforma

This Lease Pro-Forma outlines the key commercial terms to support negotiation for a Sub-Lease, Assignment of Lease, or Direct Lease of 194 Bruce Highway Eastern Service Road, Burpengary East QLD 4505. All arrangements remain subject to formal approval by the Head Lessor (Darveniza Group).

Item Detail/Input

Occupier Entity

ABN / ACN

Solicitor / Legal Representative

Lease Type

Site Plan (if Part Area) Please attach indicative plan showing proposed leased area

Commencement Date

Lease Term

Option(s)

Rental (per annum) $ + GST

Outgoings As per head lease or by negotiation

Deposit Equivalent to 2 months’ base rent + GST (payable on execution of agreement)

Security Bank Guarantee or equivalent, amount to be confirmed

Rent Reviews Annual CPI adjustments, or as agreed

Permitted Use

Special Conditions

Head Lessor Consent Required prior to finalisation of any lease documentation

Legend: Part-area proposals must include an indicative plan clearly showing access, boundaries, and shared facilities.

Disclaimer

© Copyright 2025 RWC Queensland. This information memorandum (“IM”) has been prepared by Eagle Street (Brisbane 1) Pty Ltd trading as RWC Queensland [ABN 50 655 064 896] and is prepared on the basis of information provided to RWC Queensland in connection with the relevant transaction. Any statement or opinion made by RWC Queensland in connection with the transaction contemplated in the IM is not based on any actual or implied knowledge or consideration of the investment objectives, financial situation, legal or taxation position or any other particular needs or requirements of the recipients of this IM. All parties must make their own independent assessment and investigation including without limitation, seeking professional advice and must determine its interest in proceeding upon the basis of such independent assessment, investigation and appraisal. Any statement or opinion of RWC Queensland whether express or implied is not, nor should be construed as a recommendation by RWC Queensland or any of their officers, agents or employees to participate in the transaction and, to that extent, no reliance will be placed on RWC Queensland or their associates. RWC Queensland and their associates do not warrant (expressly or impliedly) that information contained in this IM is complete, true and correct and not misleading or not likely to be misleading or deceptive. RWC Queensland and their associates are not responsible and will not under any circumstances be liable (whether at law, in equity, under statute or otherwise) for any statement made or anything contained in or arising out of the information including, without limitation, any errors, misrepresentation or omissions. RWC Queensland disclaim all responsibility for any loss or damage caused by reliance by any person on this IM or any representation, warranty or statement made by or on behalf of RWC Queensland and their associates. This IM is confidential and is for the sole use of persons directly provided with it by RWC Queensland and is not to be reproduced, copied or sent to any other person without the prior written consent of RWC Queensland. The use by, or reliance upon this document by any other person is not authorised by RWC Queensland and without limitation to the above disclaimers, RWC Queensland are not liable for any loss arising from such unauthorised use or reliance.

*Approximately (radial km)

Turn static files into dynamic content formats.

Create a flipbook
Issuu converts static files into: digital portfolios, online yearbooks, online catalogs, digital photo albums and more. Sign up and create your flipbook.