



![]()




Tributes from far and wide continue to flow for Wangaratta stationed police officers who lost their lives in a shooting at a Porepun kah property on Tuesday.

Detective Leading Senior Constable Neal Thompson, 59, on the eve of retirement and Senior Constable Vadim De Waart, 35, at the beginning of a fruitful career, were allegedly murdered in cold blood by Dezi Freeman, as police conducted a search warrant at his address on Rayner
BY BAILEY ZIMMERMANN bzimmermann@ nemedia.com.au
Track around 10:30am.
Heartfelt tributes have poured in locally, across the state and the country as people come to terms with the tragic event.
Tables are set out the front of Wangaratta Police Station and stations across the state, where growing tributes are being made by community members,
who have laid flowers and sent the local force their sincere condolences.
Colourings of Led Sen Const Thompson and Sen Const De Waart from children as young as three hung on the walls and a condolence book was filled with heartfelt community messages.
Landmarks from Wangaratta’s own water tower, the Cube in Wodonga to the Shrine of Remembrance, Flinders Street Station and Parliament House in Melbourne have been glowing
blue to honour the force.
Emergency services planned to rally at the station at 7pm Thursday, with 10 local CFA and FRV appliances and 40 members set to turn on their lights and sirens at Wangaratta police station to honour the force.
Local businesses, clubs and community members have shared their condolences and personal experiences with Wangaratta detective of 18 years Neal Thompson, affectionately known as ‘Thommo’ through social media.
Ineeta Café owner Anita Cook paid her respects on behalf of her staff to one of her most popular customers over the past 10 years. She said on Tuesday morning, ‘Thommo’ had arrived early to give her a scare, as he often would, and had time to have a couple of coffees and breakfast, telling her he had to go to Bright at around 9am for work.

Tragically, he would not make it back.
■ Continued page 3
■ Search update page 3


By STEVE KELLY
Local football teams will show support for Victoria Police and fallen police officers Detective Leading Senior Constable Neal Thompson and Senior Constable Vadim De Waart, who were killed in the line of duty this week.
Players across the Ovens and Mur ray and Ovens and King football net ball leagues are expected to wear arm bands as a tribute to Det Sen Const Thompson and Sen Const De Waart.
AFL Border North East regional manager Zac Hedin said he’s also been working with the Wangaratta and Albury-Wodonga junior leagues, and the TDFL talking about the wearing of arm bands at this weekend’s matches.
He said these will be blue arm bands and they are looking to source the checkered blue and white arm bands which have been worn in the past.
“In the Wangaratta junior finals this weekend we have plenty of kids coming down from Bright and those who live around Porepunkah too, so we’re pretty considerate of that,” Mr Hedin said.
Rovers Football Netball Club player Trey Vincent said all the players will wear arm bands to show support for the local police officers who were killed.

“No one should have to go to their job and not come home, they protect our community and we need to show our thanks for that,” Trey said.
Acting Sergeant Kelsey O’Bryan said “it’s really appreciated and it’s really
nice to have the entire community to come together and support police, the families and the entire community.
“It’s a big deal for us, it’s recognised and appreciated,” she said.
Act Sgt O’Bryan also praised the

community for their tributes that have been placed in the entry foyer of the Wangaratta Police Station.
“It’s beautiful and appreciated as it touches the whole community,” she said.
Det Led Sen Const Thompson joined Victoria Police in September 1987 after completing his training and spent seven years in general duties at Collingwood police.
For the next decade, he worked as
a detective at the Major Fraud Squad and the State Crime Squad. Sen Const De Waart was on temporary assignment in Wangaratta and was a part of the Public Order Response Team since 2023.
By BAILEY ZIMMERMANN
State and federal leaders of government have shown their support for the local community, police force and emergency services following the Porepunkah shooting on Tuesday.
Suspected gunman Dezi Freeman, 56, remains on the run in the bush after he allegedly killed two police officers, Detective Leading Senior Constable Neal Thompson, 59, and Senior Constable Vadim De Waart, 35, and seriously injured another during a warrant search of his rural property on Rayner Track.
National coverage of the










event has shown the impact felt far and wide, but particularly the local close-knit Alpine Shire and North East community.
Wangaratta based Ovens Valley MP Tim McCurdy said the heartbreaking events which unfolded on Tuesday morning were beyond comprehension.
“The senseless and unimaginable loss of two dedicated police officers, along with another officer seriously wounded, is a tragedy that has shaken our entire community to its core,” he said.
“I extend my deepest condolences to the families, friends and colleagues of




the officers whose lives have been so cruelly taken.
“This is a dark day for Victoria Police, for our region, and for the whole of Victoria.”
Mr McCurdy said we were reminded of both the fragility of life and the extraordinary courage of our police.
“Our community will stand united in mourning and in support of those who dedicate their lives to keeping us safe,” he said.
Federal MP for Indi Helen Haines said the tragedy marked the most terrible of days for the community.
“This appalling event has shaken not only Porepunkah, but communities right across



the North East, and indeed the nation,” she said.
“While we may be geographically spread, we are close-knit, and in moments like this we feel the loss together.
“I want to acknowledge and thank the police and emergency services who are continuing to respond to this ongoing incident.”
Dr Haines shared her condolences to the families of Det Led Sen Const Thompson and Sen Const De Waart.
Victorian Premier Jacinta Allan said the government stood with Victoria Police every day they wear the uniform with pride.
“What has occurred in Porepunkah is shocking and utterly heartbreaking,” she said.
“We stand with the community of Porepunkah – who are now carrying the weight of this horrific day… they will not carry that weight alone.
“Our thoughts are with the emergency services still responding to this unthinkable crime and our hearts are with the families, friends and colleagues of those who have been lost.”
Prime Minister Anthony Albanese also responded to the shooting on Tuesday.
“Our thoughts are with the police for the work that they
do each and every day,” he said.
“The men and women who wear our uniform, wear the uniform of the police force take risks each and every day.”
Victoria Police Chief Commissioner Mike Bush said on Wednesday morning the force had been overwhelmed with messages from across the country and beyond standing in solidarity with police.
“It’s very comforting to know the public support our police,” he said.
“All of my commissioner colleagues across the country and across the ditch have sent messages of support.”


























Police have pleaded to suspect ed gunman Dezi Freeman to turn himself in as one of the biggest manhunt’s in Victoria’s history continued for a third day.

The force is throwing every available resource behind a mass search in the Porepunkah area after Freeman was alleged to have killed Wangaratta detective Neal Thompson, 59, and Senior Constable Vadim De Waart, 35 during a routine search warrant of his property on Rayner Track Tuesday.
Another officer was shot in the lower body and continues to recover at hospital in Melbourne after surgery yesterday.
Speaking to the media on Thursday afternoon, Superintendent Brett Kahan spoke directly to Freeman and made a plea for him to surrender immediately.
“If Dezi Freeman is watching this, ring Triple Zero, we will support a surrender,” he said.
“And if you do see him, ring Triple Zero.”
As of 2pm Thursday, Freeman remained at large, suspected to be heavily armed with multiple weapons.
He was last sighted by police
BY BAILEY ZIMMERMANN bzimmermann@ nemedia.com.au
fleeing his property into the bush as seven other officers who attended the search warrant were made to bunker down.
The officers were at the property as part of an investigation by the sexual offences and child abuse investigation teams.
Deputy Commissioner Russell Barrett said there was still yet to be any confirmed sighting of Freeman throughout the complex, protracted search in extremely difficult terrain and the force was carefully working their way through it.
“As a long serving police member, this is one of the most difficult matters I’ve dealt with and one of the most difficult matters in Victoria Police’s history,” he said.
“We need the community support in this operation.
“It’s our highest priority to arrest the offender, and community support is paramount to that.
“I hope for the arrest of Dezi Freeman and to bring him to justice.”

Heavily armed police were reportedly spotted searching multiple properties within the Porepunkah area on Thursday.
Deputy Commissioner Barrett said the force believed Freeman to still be in the Porepunkah area and warned against anyone considering to assist Freeman.
“Anyone who may be harbouring him or supporting him, they need to reconsider, you’re committing a criminal offence, and we will prosecute them,” he said.
Superintendent Kahan said police were conducting patrols within the wider community and in neighbouring towns to reassure the public their safety was the force’s number one priority.
Patrols took place as some local businesses and the Porepunkah Primary School reopened.
“It’s really important to us particularly the school kids it’s really important we show that assistance,” he said.
“We’re trying to broaden that messaging to people outside of Porepunkah just for people to be vigilant and to contact police if they see or hear anything.”
Superintendent Kahan advised people heading to the snow this
weekend to steer clear of Porepunkah, with alternate routes to be taken via Mount Beauty and Running Creek.
“But if you have an option not to go to the snow this weekend, take that,” he said.
A fresh emergency alert was sent out across the Porepunkah area, including Wangaratta residents on Thursday, urging the wider community to remain vigilant and to avoid the area unless essential.
Investigators continue to seek the help of the community in locating Freeman.
He is described as Caucasian, 183cm tall, medium build, short dark hair and brown eyes.
He was last seen wearing dark green khaki tracksuit pants, dark green rain jacket, brown Blundstone boots and reading glasses.
Investigators request anyone who sights him or has information about his whereabouts contact Triple Zero (000) immediately and not to approach him.
Anyone with other information is urged to contact Crime Stoppers on 1800 333 000 or submit a confidential report online at www. crimestoppersvic.com.au

■ From page 1
“I will relive those final conversations that morning for ever,” she said.
“He was unique, heart of gold, larger than life, intimidating to some but still a softness without words.
“He would sit quietly for hours reading the paper or engaging in conversation with locals that knew him.
“We would chat about life, hunting, fishing, Nepal, adventures, his car, rock climbing, property, finances, Cooktown, his boat, jimmy, mangoes, smoked venison, work stories and lately all the things was going to do in his retirement.
“I’m so sad he won’t get to live that life in retirement.”
Det Led Sen Const Thompson had been part of Wangaratta’s Criminal Investigation Unit team since July 2007 and was planning in earnest for his imminent retirement.
He loved getting out in nature, and his friends and colleagues regularly joined him on these trips. He had spent the past six years with the love of his life, Lisa, and had built a new home, with a long list of tasks planned after he knocked off work for the last time.
Sen Const De Waart was on temporary assignment in Wangaratta and was a part of the Public Order Response Team since 2023.
The Melbourne based policeman was extremely proud to have purchased his first home in recent years and travelling was his passion.
Sen Const De Waart was fluent in French, Spanish, Flemish and English and completed scuba dives and motorcycling trips all around the world with his friends and colleagues.
Deputy Commissioner Russell Barrett said the loss of his colleagues was devastating and hard to comprehend as he spoke to media at Wangaratta Police Station on Thursday.
“One a 39-year veteran, loved by his local community, loved by his colleagues on the cusp of retirement,” he said.
“A young man who is relevantly recent to our organisation and whose professionalism is all I hear about from his colleagues.
“They were doing their job; they were doing what police do every day.
“Every member of Victoria Police feel that and can put themselves in the shoes of our two colleagues and appreciate the risks they faced and appreciate just how simple a task they were doing.”
Deputy Commissioner Barrett said it was heartening to see the outpouring support flow in from the community across the state, as a community member walked by him and the large press gathering on Thursday to lay flowers and pay his respects.
“The tributes, the flowers, the notes, the comments, not just here in Wangaratta but across the community just let us know we are a part of the community,” he said.
“Police are the community and the community are the police, we feel that now.
“We appreciate your support, we feel connected to the community and we will not rest until we apprehend the offender and keep them safe.”
A fixed and reliable alternative to dentures or deteriorated teeth
Straumann Implants - Today’s leaders in dental implants guaranteed
For one or more missing teeth or full arch (All-on-4)
Denture stabilisation
Immediate solutions completed in the comfort of our practice


By SIMONE KERWIN
Former Wangaratta resident
Heather Yelland will be out to inspire regional business leaders when she heads a workshop in Albury on 5 and 6 September.
An international and TEDX speaker with broad experience in empowering businesses and individuals, Heather will facilitate the two-day event along with former Carlton footballer and Jim Stynes Community Leadership Award winner Dennis Armfield.
Mr Armfield is a team member with The Elevation Company, which was founded by Heather to serve business owners, entrepreneurs and executive leaders keen to get to the heart of what drives and inspires them.
Heather, a former Wangaratta Technical School student now based in Euroa, is looking forward to sharing her knowledge and experience with business leaders in her native North East, in an event to be hosted at Albury’s Commercial Club by local business Systa Solutions.
Jodi O’Connell, director of Systa Solutions, said it was important to bring world-class training to the region, as the cost of travelling to the city and paying for training could be prohibitive for local small to medium businesses.
“I am incredibly excited to have Heather and Dennis agree to offer this type of powerful leadership training to the local community,”
Jodi said.
Heather said she loved the chance to run events like this in regional centres, where small business was the backbone of the community, and she looked forward to partnering with Systa Solutions to “powerfully impact the leadership of local business owners and their teams”.
“The opportunity for people in the region to travel 30 to 40 minutes to get access to training is fantastic,” Heather said.

parallel psychology degree,” Heather said.
“I worked with Red Cross and the National Guide Dog and Mobility Centre, travelled overseas, then ended up working in community health, where I was involved in setting up consulting and support services at Ovens and King Community Health (now Gateway Health).
“After I went to a family therapy conference in New Zealand, I spent the next 14 years living and working in New Zealand in a large social services organisation.


She said her heart was “invested in the North East”, having being raised in the district before following a “twisting” career path.
“I went to university and studied an arts degree majoring in psychology, and I loved it, so I then did a
“I came back to Australia, lived in Bendigo and worked in community health, then moved back to the North East, and 18 years ago decided that I work best when I have scope and freedom to create and innovate, so started The Elevation Company.”
The business works in consulting - focusing on the elevation of people and building cultures of engagement - as well as providing support and mentorship to various groups; Heather has just returned from two
weeks in Myanmar working with 1100 students and their teachers and families.
“We operate on the basis that we get in, find people to work with, then allow people to go ahead and sustain the change,” she said.
The two-day Level Up in Leadership workshop will be held in the Wattle Room at the Commercial Club from 9am to 5pm on Friday, 5 September, and 9am to 3pm on Saturday, 6 September.
A handful of places remain, and registration can be completed at https://events.humanitix.com/level-up-in-leadership
• A free ticket to Level UP is available to one lucky reader of the Wangaratta Chronicle. Simply fill out the contact form at https://theelevationcompany.com/get-in-touch/ with the subject line of LEVEL UP FREE TICKET, and send your full name, email address and mobile number, to go into the running for the free pass. Winner will be drawn at 5pm Monday, 1 September.

Applications have opened for the $100 Power Saving Bonus for eligible Victorian concession card households –providing real and immediate help for vulnerable families.
The new $100 Power Saving Bonus will ease cost-of-living pressures, make everyday expenses more manageable and support financial security for families and individuals across the state.
Eligible Victorian households can apply for the Power Saving Bonus through the Victorian Energy Compare (VEC) website.
When applying, eligible households need a recent residential electricity bill and must hold a health care, pensioner concession, veterans’ affairs pensioner concession or veterans’ affairs gold card.
The $100 Power Saving Bonus is in addition to the $150 Energy Bill Relief Fund all households will automatically receive from the Commonwealth government.
Any Victorian who is struggling with their energy bills can also access the Energy Assistance Program – a free over-the-phone or in-person support service delivered in partnership with Anglicare Victoria and cohealth for Victorians who are having trouble paying their energy bills.
All Victorians are encouraged to check they’re on the best deal possible by using the free and independent Energy Compare website to shop around for a lower price – last year, users typically saved $240 per year on their energy bills by switching providers.
Since the first round of the Power Saving Bonus was launched in 2018, more than 4.5 million applications have been paid across four rounds of the program, totalling over $1 billion in energy bill relief to Victorian households.
For more information or to apply for the Power Saving Bonus, visit compare.energy.vic. gov.au or call 1800 000 832. The Energy Assistance Program is available on 1800 161 215.



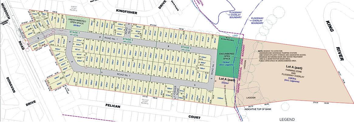
South Wangaratta is set to have more access to new housing off Murdoch Road after Wangaratta councillors this week granted a decision in favour of a proposed 127lot subdivision.
The subdivision will be carried out in three stages across 16.6 hectares at 197 Murdoch Road, located between the existing residential areas of Kingfisher Drive and Pelican Court.
Most of the subject land is

BY STEVE KELLY skelly@ nemedia.com.au
located within General Residential Zone, with the rear portion in a Farming Zone.
Lot sizes will range from 349 square metres to 900+sqm, with the largest portion including 69 lots between 650-699sqm.
Eight objections were received about traffic, position
of the proposed open space, sewer capacity, orientation of lots and their sizes, access roads to the new housing, detriment to neighbourhood character, drainage, and flood risk.
Council met with the objectors to work through concerns, particularly about the provision of open space, and connectivity/access.
The permit was granted based on two open space areas, with one unencumbered
area along the northern boundary linking with Albert Court Reserve, 2818sqm in size.
The other will be encumbered and supports a drainage reserve located adjacent to the existing lagoon, covering 7918sqm of land.
No councillors contested the subdivision and Cr Harvey Benton, who moved the motion to grant the permit, said it was the joining of existing subdivisions and it’s just a
transition towards progress.
Cr Harry Bussell viewed the subdivision as a positive move as Wangaratta is a growing city.
Mayor Irene Grant said it’s an infill development and council has spoken to objectors about the application and councillors did voice feedback about open space and connectivity.
“We trust that these have been addressed in terms of what the multi-stage subdi-
vision will look like into the future,” she said.
The subdivision comes after a nearby 230-lot subdivision was approved on the corner of WangarattaWhitfield Road (extension of Murdoch Road) and Clarkes Lane.
Both of these developments will provide 357 lots for new dwellings in Wangaratta which will help address the chronic shortage of housing locally.

BY SIMONE KERWIN skerwin@ nemedia.com.au
Celebrations for Galen
Catholic College’s 50-year anniversary will kick off today, with student leaders directing a series of school tours around the campus.
The sold-out tours, along with a gala evening at the Quality Hotel Wangaratta Gateway on Friday night and an anniversary mass at the school on Saturday morning, will showcase not just the growth of Galen through the years, but of Catholic secondary education in Wangaratta.
Billed as a commemoration of ‘Generations of Galen’, the celebrations will acknowledge the college’s heritage as the evolution of the city’s earliest Catholic secondary schools: St Joseph’s High School (later St Joseph’s College) and Champagnat College.
St Joseph’s, an all-girls school, can trace its beginnings to the 1888 arrival in Wangaratta of four Brigidine Sisters from Ireland who opened the Brigidine Convent. Champagnat College opened in 1955 as a day and boarding school for boys, as well as a juniorate for the Marist Brothers.

The co-educational Galen Catholic College opened in 1975 (the milestone marked by the 50-year celebration),
catering initially for year 11 and 12 students. In 1983, Wangaratta’s three Catholic secondary schools
amalgamated to form the expanded Galen, which welcomed students from years seven to 12.
As past and present staff, students and families prepare to mark the anniversary this weekend, current teach-
ers Pat Arcuri and Julie Nolan are among those eagerly anticipating the celebration.
Mr Arcuri, deputy principal - student development, will be MC for Friday’s gala evening, and said he looked forward to seeing old friends and familiar faces across the weekend.
A student at Galen in the 1990s before returning as a teacher in 2002, Mr Arcuri said the school had played a central role in his life.
“For me, Galen has been more than just a school - it’s been part of every chapter of my life,” he said.
“I came here as a student, I returned as a teacher, and I even met my wife here. I’m looking forward to celebrating those connections and the shared memories that make Galen such a special place.”
Mrs Nolan, who began at Galen as a graduate teacher in 1991 and continues today as a drama teacher and house leader, is also excited about the prospect of reconnecting with past students.
“I can’t wait to catch up with our alumni,” she said.
“I love hearing their stories - the ways Galen has shaped their lives, often in ways they only realise later.
“That’s what makes occasions like this so special.”







A Reconciliation Action Plan by Wangaratta council has been delayed but will be dealt with before the December council meeting. It was recommended that the plan go out to public consultation this week, but five councillors voted at Tuesday’s meeting to defer its release.

BY STEVE KELLY skelly@ nemedia.com.au
“There are certain elements in the provision of the document that councillors want to make sure are clear and understand all the anomalies, if there are anomalies,
aligns to the actions within the past two council plans.
“With our current community vision that Wangaratta is a place for everyone, there’s community support for the draft plan and the community deserves the opportunity to provide feedback on what is a well developed document,” Cr Winters said.
“It formalises work that we
can do is put this document out for consultation and hear from our community now.”
Cr Tania Maxwell supported the motion to defer the plan as she believes the work council is currently doing with the Indigenous community provides opportunities for them to showcase their incredible culture and history.
“For that to be imbedded
plans to support the need for this document.”
Mayor Irene Grant said she also had more questions than answers about what the plan will deliver.
Council officers claimed that the plan came about after the community requested action for organisational reconciliation following consultation for the 2021-25 council
draft, council reported they took a major step forward in late 2024 by engaging an experienced and culturally neutral First Nations consultant to help guide the process.
Council officers said their insight and leadership have been instrumental in shaping the initial phase of the plan. The aim of the current plan is to acknowledge all Tradi

Alpine resorts at Falls Creek and Mt Hotham were continuing to be blanketed by fresh snow yesterday in a cold snap that could see more than 50cms by Saturday.
Mother Nature delivered more than 20cms overnight into Thursday morning at Falls and 27cms at Hotham as the temperature dipped to -2.4C in a winter reset.
“Mother Nature has turned it on for us again, blanketing the mountain in fresh snow and setting us up for the best spring conditions we’ve seen in years,” said Betony Pitcher, Falls Creek’s field marketing manager.
“The village is sparkling under the flakes, while the slopes are enjoying a perfectly timed top-up before the sunnier days ahead.”
Snowfall up until Thursday morning brought Falls Creek’s average snow depth back up to 109cm, with a season total of 294cm so far, and Hotham’s snow depth to 125cms with 316cms recorded for the season.
PHOTO: Vail Resorts
Former ABC foreign correspondent and Canberra-based political editor, Michael Brissenden will visit Wangaratta next week to talk about his latest crime novel, ‘Dust’. It is his fourth novel, and follows the success of last year’s ‘Smoke’.
He will be at the Wangaratta Library on Thursday, 4 September from 6.30pm, and to book your place, visit https://events.humanitix.com/in-conversation-with-michaelbrissenden

By STEVE KELLY
The Central North Renewal Energy Zone (REZ) has changed, now stretching from southeast of Dookie all the way to Glenrowan West and Greta West.
The proposed new REZ map shows a shaded area over land near transmission lines where renewable energy facilities are likely to be built into the future.
It very much differs to the draft proposed REZ map released in May this year that had the total Central North REZ positioned between Bendigo and Shepparton.
It’s a change that Wangaratta-based Nationals’ MP for Ov-
ens Valley, Tim McCurdy, has condemned the government for as he said it was done without proper consultation with communities.
VicGrid released the map last week and although it is not the final draft and will be subject to further feedback, Mr McCurdy believes this was a blindside by the government.
“The community was completely taken by surprise,” he said.
“The first plan didn’t include our region, and now suddenly Glenrowan and surrounding areas are expected to host large-scale energy projects.
“People feel like decisions
are being made over their heads, and that’s just not on.”
Mr McCurdy said while jobs are always welcome, the cost to local farmers and towns is far too high.
“Our prime agricultural land is under threat, and when farmers lose the ability to work their land, towns like Wangaratta will feel the impact,” he said.
“Energy infrastructure is important, but not if it comes at the expense of local livelihoods.”
Mr McCurdy also raised concerns about the financial burden on residents.
“Families are already strug-
gling with rising power bills and the cost-of-living crisis.,” he said.
“The government keeps talking billions, but at the end of the day, it’s the people in our communities who will pay the price.”
Mr McCurdy said the Nationals are committed to standing up for regional communities, ensuring proper consultation, and protecting local interests from rushed government planning.
“We will continue to defend farmers and towns alike, making sure regional voices are heard and that projects are fair and sustainable for our communities,” he said.
VicGrid reported last week that in response to feedback following the release of the draft Victorian Transmission Plan in May, VicGrid has adjusted the size and shape of renewable energy zones and refined some of its transmission projects.
Some areas have been removed from or added to zones, and new separate sections have been added in the South West REZ and Central North REZ.
“Industry stakeholders consistently told us the size of zones and the amount of energy generated from each zone needed to be at a level
that enabled the development of technically and commercially viable renewable projects,” VicGrid chief executive Alistair Parker said.
Earlier this year VicGrid advised landholders in a renewable energy zone that they could choose whether to host new wind or solar farm on their property.
VicGrid said it’s the landholder’s decision and they encouraged them to discuss their desires with their neighbours. All proposed projects will continue to be subject to planning (without the option to appeal via VCAT) and environmental approval processes.
A pall of sadness has fallen across the North East this week, following news of the tragic deaths of two police officers, killed in the line of duty at Porepunkah.
As the nation’s media turned its attention to the small town at the foot of Mount Buffalo, which is usually the focus of snow-goers at this time of year, the region collectively bowed its head in mourning.
One of our quiet alpine towns was suddenly, inexplicably, a crime scene.
In between television news bulletins delivering the latest updates on the incident, including the hunt for the alleged gunman, it was particularly heartwrenching to see new Victoria Police Chief Commissioner Mike Bush appear in the first round of advertising for September 29’s Blue Ribbon Day.
His words about the loss of Victorian officers on the job were even more poignant than they would have been, given the events of this week.
They reinforced the absolute tragedy of police deaths.
For our Wangaratta community, the devastation and loss of respected and long-time officer Detective Leading Senior Constable Neal Thompson is deeply personal and heartbreaking.
It is something many are still trying to comprehend, and our deepest condolences are extended to his family and colleagues, who will have our support in the times ahead.
We always know in our hearts that our police officers put their lives on the line to protect others, but incidents like this bring that knowledge to the fore, and the outpouring of grief and support has shown what it means to the Victorian public.
Facebook users this week commented on the death of two police officers at a Porepunkah shooting on Tuesday, one of whom was later confirmed to be wellloved Wangaratta detective Neal Thompson.
Barbara Webster: Condolences to family and friends . Very sad
Tracey Lea: Everyone has the right to be safe when doing their job. It’s a dark day.
Chloe Merson: So very sad Juls Keeley: Thoughts with family friends and colleagues. So sad he was about to retire in a few weeks .
I write In support of Upper House MP RikkiLee Tyrrell’s letter to the editor (Chronicle, 20 August) , which has attracted vitriol likely to surprise many people.
She stated that there are only two sexes, this is a scientific fact.
The Resilience, Rights and Respectful Relationships curriculum in Victorian schools is seeking to tell children that they can choose the sex they want to be.
This is dangerous ideology and is leading down the pathway of medicalised sex changes.
There is no way back for young people who are introduced to this, it is with them for life.
Previous to the Respectful Relationships program in the Victorian curriculum, an excellent Drug Education and Sexuality Education programs were the main programs focusing on relationships.
Both these programs taught respectful relationships as a key component, but not as an ideology that says you can change your sex.
Now gender has taken over from sex and the government thinks we should tell children that they are not boys or girls but siblings.
They encourage the teacher to share their pronoun with the students, and this is all in the Foundation Curriculum (five year olds).
Parents should consult the Victorian Curriculum - The Resilience, Rights and Respectful Relationships learning materials which cover eight topics of social and emotional Learning across all levels of primary and secondary education; they can be found easily using this title.
Share your concerns about telling children they can change their sex with your school and your MP, as Rikki-Lee Tyrrell has done.
Claire M Russell, Wangaratta
Numerous letters to the editor have accused upper house representative Rikkie-Lee Tyrell of espousing bigotry, stigmatising children and sprouting hatred.
Strong words.
So I revisited the letter by Rikkie-Lee Tyrell (Chronicle, 18/8) and what I found was this emphatic statement; “Respect should be shown by everyone to everyone, regardless of gender, race, social status or sexual orientation.”
Every politician knows their public stances will be at times misrepresented in an an attempt to shut down difficult public discussions.
Regarding the letter submitted by LINE Wangaratta Inc I found one line that rings true; “sex and gender are not the same thing”.
Many people conflate these two words making it very difficult to discuss these issues with clarity.
“Gender identity” is changeable over time
Caroline Sunshine: Juls Keeley one week they said on the news. So sad Facebook users this week also commented on MPs rallying behind the police force following the tragedy that unfolded in Porepunkah.
Richard Jeffreys: Verry sad day
Jude Edgeworth: Might a respectful honour for all of us who live here to put some blue and white ribbons on our car aerials … just a small acknowledgment of the tireless work our police force do to keep us safe and honour the lives of the innocent officers who lost their life yesterday








because it emanates from subjective feelings and is influenced by social trends.
However, the sex we are born as is a permanent material fact about our human bodies based in biology.
Increasingly sporting organisations are contending with this.
For example, the World Athletics Organisation recently announced they will be requiring a science based test for all competitors registering for the female category which looks for the Y chromosome.
The reason this unobtrusive cheek swab only has to be administered once in an athlete’s career, is because the sex we are is permanent.
We all would like to see children taught not to bully other children who, on the surface, do not resemble them.
However, if Victorian schools are now also teaching children that everyone has a “gender identity” and they can opt in and out of the sex they are, those are highly contentious concepts that many parents will understandably object to.
Cassandra Pollock, Wangaratta
I was part of a large gathering of people, young and old, who set off from the King George Gardens last Sunday to march around the block in central Wangaratta as part of the Nationwide March for Palestine.
Along the way they carried banners, and chanted slogans, seeking peace in Palestine.
I spoke to one of the organisers, Emily Scott, who told me that this group of young people started this movement about two years ago –with regular calls for the public to join in their rallies for peace.
Congratulations to these young people who are urging us to show that there is increasing
support for our leaders to pursue a peaceful solution to the Palestine/Israel conflict.
Lauris Schubert, Wangaratta
I went to the Wangaratta cemetery today (25 August) to visit a grave of a friend who died 51 years ago. I went to her funeral and hadn’t been at the gravesite since.
I’d sourced the site from the internet... Row number (H) and plot number.
To my surprise the cemetery does not have an information board with directions to row numbers.
Most cemeteries have that.
I had to ask a worker about where the grave would be.
He advised to go down to near a shed and the grass rows opposite start with “A”.
So count along from there and count along the row for the grave.
Why does the Wang cemetery not have an info board?
Doug Brockfield, Milawa


Facebook users this week commented on concerns raised by local rail action group member David Maroney about the long-term functionality of Wangaratta’s recently-upgraded railway precinct.
Allan White: Fingers crossed they can get restoration work a happening on the signal box. It would be fantastic to see it restored to the time when it was actually extended. Let’s not loose this as we’ve lost so much history from the station precinct of late. Ps, my uncle lived at the station in the early 1900’s his father the station Master, his mum ran the cafe.
Dot Dean: Allan White I remember the cafe.
Allan White: Dot I’ve seen a photo of the cafe, and there was rumours of it being reinstated as part of renovations. If those rumours are true.




Have your say

Dot Dean: Allan White That would be amazing but I imagine only rumours.
Brian Fox: Keep up the good work, Dave Facebook users this week also commented on a permit sought for a proposed 127-lot subdivision in South Wangaratta.
Cindy Knight: Lego land
Leslie Matthews: Appalling subdivision design, row after row of the same type of house built on minute blocks of land. No shade, no trees, no green spaces. Depressing. Christopher Maher: Leslie Matthews it’s also a flood zone, a lot of investment that close to the king river Marianne Grinter: Leslie Matthews I’ll wait for a run of accidents at the Cribbes road / Murdoch road intersection. ....especially at School times. Traffic is bad enough as it is in that area......now going to get a whole lot worse.






Over the weekend I had the distinct pleasure to spend time with
Newcastle based artist & her new exhibition Us, along side
Australian Artists guest curated by Sydney based artist Talia Smith at Wangaratta Art Gallery @ wangarattaartgallery
I was honoured to be hosted by the lovely Rachel Ardnt curator of Wangaratta Art Gallery who took Gillian & I along to MAMA in Albury for the opening of D.Harding: Places.
My heart & soul have been filled, I am inspired by my time with beautiful strong minded artists whose passion resonates through the work they do.
This visit ahead of my own solo exhibition in November gave me greater insight & inspiration for my impending show.








This Is Wangaratta podcast is back with Season 2 – this time sharing the stories behind local businesses and the people who make them thrive.
Produced by Patcast in partnership with Invest Wangaratta, the series shines a spotlight on the diverse and vibrant business community across the Rural City of Wangaratta.
Past episodes have featured a variety of local enterprises, from Reality Fine Clothing to North East Funerals, while upcoming episodes will highlight businesses in the health and accommodation sectors.
“While interviewing local businesspeople, it has been heartening to see how many genuinely look out for one another,” podcast host Kylie Patrick said.
“Many refer customers to what could be seen as their competitors and make a conscious effort to purchase goods and services from other local businesses before going further afield.”
Whether you’re a resident, a potential investor, or simply curious about the people and enterprises shaping our region, season two of This Is Wangaratta podcast offers a fresh and engaging way to connect with our community.
Search This Is Wangaratta wherever you listen to podcasts, or stream directly via the Invest Wangaratta webpage.
For more information, or to listen to the latest episodes, visit: investwangaratta.com.au/ Support/Business-Programs/ This-Is-Wangaratta-BusinessPodcast.


Meals on Wheels is continuing to deliver the goods in Wangaratta.
And on Wednesday, as the country celebrated National Meals on Wheels Day, Northeast Health Wangaratta (NHW) recognised the 80 or so volunteers who help make this vital service possible in Wangaratta.
NHW chief executive officer Libby Fifis said NHW through its valued volunteers deliver more than 12,000 hot meals to some of the most vulnerable people in the community each year.
“These deliveries provide more than just nutrition, they offer reassurance, connection and support, helping people to stay living independently in their own homes,” she said.
“For many recipients, a friendly smile and a chat from a
Meals on Wheels volunteer can make all the difference to their day.
“This day is about recognising our volunteers and the vital role they play in supporting our community.
“We couldn’t provide this service without their dedication, care and generosity.”
NHW also acknowledged the customers who rely on the service, and its staff who ensure it runs smoothly every day.
“Together, they help make a real difference in the lives of our community members,” Ms Fifis said.
NHW is now recruiting new Meals on Wheels volunteers.
If you would like to get involved and make a positive impact, call (03) 5722 5297 or email volunteers@nhw.org.au




By ANITA MCPHERSON
A group of very excited local students will have the opportunity to take to the stage and sing in a professional opera production, when they join the cast of Opera Australia’s La Bohème.
Ten choir members from years 5/6 at St Patrick’s Primary School will play a role in the production when it comes to the Wangaratta Performing Arts and Convention Centre (WPACC) on Saturday, 6 September.
The students are currently in rehearsal with guidance from teacher Brigid Malcolm, who had approached WPACC to see if the opportunity for student participation in Opera Australia productions had returned, after it had been postponed during the COVID years.
Ms Malcolm said the school was pleased to find out they could indeed get involved, and with their large school choir numbering over 35, students in year 5/6 were invited to take part.
“It has worked out beautifully as the opera this year is in Italian and this ties in perfectly for our students, as they are learning Italian as part of their curriculum at school,” she said.
“Rehearsals are going well - we have been meeting at lunchtimes once a week - and we will be commencing auditions for the solo next week.
“Students are extremely excited about the incredible opportunity, not only learning a new genre to sing, as well as singing in Italian.
“They are also incredibly excited about the opportunity to be working with such a high calibre of professionals in the industry.”
Ms Malcolm said Opera Australia provided a wide selection of resources to prepare the students and they have been thrilled to see the props, costuming and staging involved in the show.
They will be heading to WPACC soon to prepare the students for what is expected backstage and their staging positions.
The student choir has three excerpts of music to learn and will take to the stage in full costume in Act 2, playing children who are excited to see Parpignol (a man selling toys) - following him in and out of scenes before returning to the stage for the finale.
WPACC venue manager Tanya Camplin said it was a fantastic opportunity for WPACC and Opera Australia to collaborate with local students; rehearsing onstage with a professional cast and orchestra, then performing in costume that night, side by side with some of Opera Australia’s finest singers.
“We are pleased to be able to offer this opportunity to local students as part of our ongoing partnership with Opera Australia and commitment to bringing high quality theatre to the venue and Wangaratta audiences,” she said.

Tickets for the performance are available at wpacc.com.au/Whats-On/ La-Boheme-Opera-Australia.

By JORDAN DUURSMA
The Wangaratta community is invited to come together for a heartwarming and elegant event, the Beautiful You Cancer Charity High Tea Fundraiser on Saturday, October 11, from 10:30am to 2pm at the Wangaratta Turf Club.
This special event is the major annual fundraiser for the Beautiful You Program, a charity with a proud 25-year history of supporting women through their cancer journey.
Founded by Wangaratta local Debbie Clayton after her mother, Terry Heffernan, lost her battle to breast cancer on the 1 October 1999, the program provides vital services such as house cleaning, beauty treatments, wigs, and food vouchers to women undergoing cancer treatment.
Debbie Clayton said the day promises to be both meaningful and fun.
“Attendees can expect a vibrant atmosphere with guest speakers, including Kerrin Elliott from the Wangaratta oncology ward and a local cancer patient sharing their story,” she said.
“There’ll also be raffles and a fashion parade featuring Taking Shape from Shepparton and Chooks Clothing from Bright.”
In a charming twist, guests are encouraged to bring their own cup and saucer, perhaps one with sentimental value.
“It could have belonged to your mum or grandparents,” Debbie said.
“It’ll add a lot of colour and personality to the tables.”
Debbie emphasised the importance of community involvement.
“Anybody and everybody, male and female, are welcome,” she said.
“If we don’t support these community events, we can’t
help those going through cancer.
“That’s why we need local businesses and individuals to get behind it and make it a success.
“Please support this event knowing that you will be helping the women of Wangaratta and surrounding areas going through cancer with house cleaning, beauty treatments, wigs, and food vouchers.”
Tickets are available at https://events.humanitix.com/ BEAUTIFUL-YOU-HIGHTEA-FUNDRAISER, and all proceeds go directly to supporting local women in need.
For those seeking assistance, applications can be made via the Beautiful You Program website at beautifulyouprogram.org.au/getsupport.
Mark your calendars and bring your teacups, this is one event not to miss.

Hundreds of visitors made their way to the Chiltern Memorial Hall on the weekend for the 2025 Antique Fair. Presented by the Chiltern Tourism and Development Board, the annual event attracts dozens of stall holders showcasing classic antiques and vintage wares, while many shoppers also enjoyed morning tea, including delicious scones. Proceeds from the fair support a variety of local projects.



BY SHANE DOUTHIE sdouthie@ nemedia.com.au
The Australian Ladies Tentpegging Team is excited to be heading to the NAMPO 2025 Championships in Bredasdorp, South Africia from 7 to 14 September for a clash between South Africa and Australia in the Western Cape. The team competed together for the first time since selection at the Australian Tentpegging Association National competition in Gilgandra NSW in early August and won the A grade National Title. It was a great leadup to the international competition and has been the only opportunity the full team has had to ride together, due to distance of where team members live.


Donna Davidson (team captain) - 6th time selected to ride for Australia ATA
How did you get into the sport?
Tentpegging Championship held at Albury when my dad and sister asked if I wanted to join their team, I really started to fall in love with the sport.
What do you like about the sport?
Tentpegging originated in the military and today is a highly skilled equestrian competition that is precise and fast paced with a team of four riders, aiming to pick up their peg that measures 30cm x 7.5cm.
The team is managed by Jo Watson from Cornishtown, coached by Kerry Bryant from Indigo Valley, captained by Donna Davidson from Chiltern, and includes Christine Staats from Indigo Valley, Taylah Smith from QLD, and Brodie Chandler from Echuca.
Tentpegging is an exciting equestrian sport where riders aim to pick up a peg with a sword or lance while riding at a gallop and has been practised by mounted riders since at least the 4th century BC.
The Australian Light Horse (www.lighthorse.org.au) used tentpegging as a training exercise during World War 1. The Australian Light Horse has been demonstrating tentpegging at Royal Shows as far back as the 1930s.
The last time an Australia ladies team went overseas they were second at the World Cup Championships in 2018 held in Oman.
Three of the current team members were also in that teamDonna, Christine and Taylah. Jo said the team is all self-
funded, apart from some sponsorship for the cost of part of the uniform.
“In previous years the Open team have been very successful in Dubai, India, England, Pakistan and Germany,” she said.
“The Australian Open team consisting of men and women (Donna and Christine from the current ladies’ team) won the event in 2019.
“It’s a purely amateur sport and we pay our own way so going overseas is no easy thing, and a big commitment by all those involved.
“We’d like to acknowledge the people who have made donations of support, it has been amazing, and also the sponsorship from IGNITION ASV Echuca.
“We also thank The South Africa Tentpegging Association for inviting us and giving us the opportunity to compete with them in Bredasdorp, and thank the ATA for accepting the offer from South Africa so we are able to go.”
AUSSIE ATTACK: Donna Davidson tries out her new Aussie gear at practice.
PHOTO: Kay Davidson from K’s Photography
PERFECT PAIRING: Christine Staats on Tuppal ‘nails’ her peg.

The team is open to sponsors to support this campaign - contact Jo Watson at jo.watson1962@outlook. com.
Donna said the entire team was rapt with the national title result.
“We were quietly confident about doing well at the Australian Tentpegging Nationals held in Gilgandra NSW and extremely pleased with our winning result,” she said.
“We aim to do Australia proud in South Africa.
“All the riders are very competent horsewomen who have been riding in many disciplines for many years.
“They all started there riding career in the great association of pony club.”
In Australia, riders use their own horse, but overseas they are balloted horses.
In Australia the breed of horses varies greatly, but they must be over 14.2 hands high and be very versatile.
My eldest daughter saw a demonstration at pony club and the next thing I knew the whole family of five were competing in tentpegging.
What do you like about the sport?
The challenge of stabbing or slicing a target at a controlled gallop.
Socialising with like-minded horse people.
Travelling all over Australia and the world.
What is the biggest challenge in the sport?
Apart from connecting the weapon with the target, the biggest challenge is introducing the sport of tentpegging to riders. We need more peggers so we can keep this exciting sport going. Once you have ridden in a team of tentpeggers you are hooked
Name of your horse and how long have you been together?
Gannon, he is 11 and I bred him. He is a mixed breed, mainly quarter horse. He is named after Gordon Gannon who has been breeding tentpegging horses his whole life.
Gannon does working Equitation as well.
Why is your horse so special?
He is my favourite colour (buckskin), he is very fine tuned and has a smooth canter. He loves tentpegging.
What are you looking forward to the most about the championships?
The excitement and competing with the best in the world.
Do you have any special training techniques/diet etc?
Ride every day and train as often as I can.
Brodie Chandler rider - first time selected to ride for Australia ATA
How did you get into the sport?
As a kid Rowan and Connie Anderson would run a rotation of tentpegging at Barmah Pony Club Camp. This gave me a glimpse into the sport and I always really enjoyed it.
It wasn’t until the 2022 Victorian
It’s such rush when you get four riders and four horses working in harmony at the gallop working as a team, especially when you get a full house (pick up all the pegs).
What is the biggest challenge in the sport?
It takes a huge amount of teamwork, horsemanship and hand eye coordination. Another huge challenge is the amount of travel. It’s many hours on the road travelling to events, but it’s always worth it for a day of tentpegging. Name of your horse and how long have you been together?
I got her in 2022 just before the Victorian Tentpegging Championship and we didn’t know her name when she arrived. She was small, fat and hairy, my husband called her “Wombat” and this seemed fitting. Later on we found out her name was Wirringulla Delta Mist, bred in Tatura. She is a Welsh cob who started her career under saddle as a show horse, then as a a broodmare.
Why is your horse so special?
Wombat is my one in million horse. She always gives me 110 per cent. I have so much trust in her and find so much enjoyment of just being around her. I can’t really explain why I find her so special, but she is such a special horse to me. I actually get emotional thinking about not having her. What are you looking forward to the most about the championships? I really look forward to the challenge, pushing myself and also riding alongside so many inspirational women. Donna, Christine and Taylah have all ridden internationally and I feel very blessed to have them by my side. Do you have any special training techniques/diet etc?
We are extremely lucky in Victoria to have so many tentpeggers with knowledge and experience. We meet up monthly to train in Yarrawonga. I personally mainly ride along the roads with a stick and practice my overhead on low hanging branches and random things on the side of the road.
■ Continued page 13

Taylah Smith
rider - 4th time selected to ride for Australia ATA from Joyner, Queensland
How did you get into the sport?
I was introduced to the sport at pony club around 15 years ago where I watched a demonstration. After that I was invited to attend a “come and try” day by the Qld Tentpegging Association. I was immediately hooked on the sport and have been competing ever since. Since then I have competed in state championships in QLD, NSW and Victoria, Sydney Royal Easter Show, National Championships and International Championships. I have been on the Australian team three times previously. Twice as a junior competing in QLD against Pakistan boys team and in South Africa against their girls team and boys
team, and once in the senior ladies team competing in the Ladies World Championships in Oman.
What do you like about the sport?

The camaraderie and support of not only your own team members but that of all the other competitors. I have made many wonderful friends both here in Australia and overseas. I also love the adrenalin of competing at a fast pace and the thrill of getting a full house when I pick up all the pegs in a run.
What is the biggest challenge in the sport?
Finding the right horse for the sport. They need to run straight and be able to be ridden singlehandedly.
You basically have to totally trust your horse to do its job while you concentrate on picking up the peg.
Name of your horse and how long have you been together?
My horse is a black Stockhorse
www.corcoranparker.com.au

Why is your horse so special?
Oakie is 23 years old although you wouldn’t know it as he is still as agile and fast as he was as a youngster. Oakie is very special to my family as we have all ridden and competed on him in many different disciplines including camp drafting, sporting, dressage, show jumping, mounted games and of course tentpegging.
What are you looking forward to the most about the championships?
I am so excited to be returning to South Africa this time as a member of the Australian Ladies Team and once again look forward to a wonderful competition with my fellow teammates and the South African Ladies.
Do you have any special training techniques/diet etc?







My training mainly consists of practising my hand eye co-ordination at the training sessions held at our pony club grounds. At home I concentrate on Oakie’s fitness as well as my own fitness.
Christine Staats 5th time selected to ride for Australia ATA
How did you get into the sport?
At the time, I had three boys in pony club who were competing in horse trials, showjumping and games.
I saw a tentpegging demonstration at a Wangaratta Pony Club Rally and I thought that that looked like such a fun sport for my boys – galloping with weapons!
What do you like about the sport?
Galloping with weapons! It is a lot of fun. It also requires a lot
of skill to manage both the horse and getting the targets. I love the teamwork as well.
What is the biggest challenge in the sport?
It is difficult to train a horse to cope with tentpegging. They need an exceptional temperament.
Name of your horse and how long have you been together?
Tuppal Nita. 15 years.
Why is your horse so special?
Nita was purpose bred for tentpegging. She is a Stockhorse/ Arab and she is so very clever. She loves running in a team and she is so focused in the overheads. She will do anything for you.
What are you looking forward to the most about the championships?
Competing in South Africa is so much fun. They really look after their visitors. They provide exceptional horses and run a very fair competition. The South Africans practise and compete a lot in tentpegging so they will be tough competitors.
Do you have any special training techniques/diet etc?
I ride every day at home on various horses, so when we compete overseas on borrowed horses I will feel comfortable with that. I eat very healthily.


















Applications are now open for the 2026 Alpine Valleys Community Leadership Annual Program.
Since its inception in 1998, the program has been instrumental in enabling over 500 graduates across the North East and Border regions to find their potential, and strengthen their ability to shape and engage with change.
AVCL executive officer Madeline Hines said the program remained a cornerstone for building local capacity.
“Our communities are complex and constantly changing,” she said.
“This program gives people the opportunity to explore their potential, strengthen their capacity, and build new connections to work across sectors and perspectives.
“The result is not just individual growth, but people within places that are better able to collaborate on the issues that matter most to them.”

From February to November, participants take part in place-based learning days, retreats, and a Melbourne study tour, exploring valuesbased leadership while building skills in governance, advocacy, collaboration and
communicating for impact.
Evaluation shows the program has lasting impact, with more than 90 per cent of recent graduates strongly agreeing it increased their

Financial wellbeing isn’t about having everything figured out or earning more. It’s about feeling confident and in control of your money, making good choices, and building better habits - no matter where you begin. For Lisa, a working mum from Wangaratta, saving always felt out of reach. Life was busy with kids, bills, and the daily juggle, leaving little room for financial planning. Then, in a quiet moment, she asked herself, “What now?”

That question became her turning point. Lisa opened a separate savings account just for herself. There was no complex strategy, just a simple step. After spending ten minutes with an online budgeting tool, she discovered dozens of small expenses quietly draining her income. She realised she had more room to save than she thought.
As Lisa reflected on her reason for saving, her goals became clearer. She wanted to feel more secure, be ready for the unexpected, and get ahead instead of just getting by. Giving her savings a purpose made it feel real and achievable. A friend
suggested using online tools to visualise her goal and track her progress. Watching her savings grow, even slowly, was motivating. Six months later, Lisa has a regular savings habit and a renewed sense of control. She didn’t need to overhaul her life. She simply gave her savings a goal, made a plan, and stayed consistent.
At Hume Bank, we believe every small step counts. Knowing why you’re saving gives your goals meaning and makes you more likely to reach them. Saving regularly, even a little, is a powerful move toward becoming your own financial hero.
confidence to contribute locally, and deepened their understanding of regional issues and opportunities.
A 2025 AVCLP participant, Laura Thompson, said the experience had helped her develop a greater appreciation for and understanding of the community groups and organisations operating across the region, and what they provided for local communities.
“I have a deeper understanding of my own leadership style, and how this may impact others in my team,” she said.
“I’m looking forward to
Friday, 28 August, 2015
By SCOTT ANDERSON
Wangaratta will have added motivation for its final round encounter at Myrtleford tomorrow, with 2010 Morris Medallist Jamie Allan lining up for his 100th senior match for the club.
evolving as a leader to make a meaningful contribution within my community, and applying the learnings from the many great speakers in the program.”
Ms Hines said the program was resourced through philanthropic partners, businesses, industry, and community groups, reflecting a shared investment in the region’s future.
“We are pleased to offer pathways to share in enabling leadership development that is meaningful, visible and impactful,” she said.
“This includes support-
ing individual participation through workplace or scholarship funding arrangements, or enhancing collective impact by sponsoring a program day, retreat, or event.”
Applications for the 2026 program close at the end of September.
For more information about applying or supporting the program, visit www. avclp.org.au or contact program manager Irene Pritchard at leaders@avclp. org.au or executive officer Madeline Hines at eo@avclp. org.au.
10 years ago 10 years ago

Allan, who began his career in the Ovens and Murray across the road at the WJ Findlay Oval, has been regarded as one of the competition’s finest players since crossing to the Magpies’ camp prior to the 2009 season.
While he spent 2013 in Melbourne at Heidelberg, Allan’s consistency in five complete seasons with the Magpies has been rewarded with two club best and fairest awards and two runner up trophies.
He also took out the Leo Dean Medal in 2002 as the best player in the O&M’s under 18 competition.
Coach Brendan Cairns said Allan was a key figure at the club whose value went beyond his sizeable on-field contribution.
“Jamie is the sort of player whose standards are so high that even a quiet game from him is comparable to most players’ good games,” Cairns said.

“He gets a lot of attention from the opposition, but he has had another very consistent year.
“He is very professional with everything he does, whether it’s his football, study or work – everything he does is to the highest possible standard.”
After a couple of disappointing results against Yarrawonga and Corowa Rutherglen in rounds 15 and 16, the Magpies hit back with a good win against Wodonga last weekend, and Cairns said it was important to back that up against Myrtleford tomorrow.
“We want to finish off the season with a win,” he said.
“If we can have two wins in a row to end the year that really helps set up the 2016 preseason, just having a bit of momentum to build on.
Last time the Magpies faced
Myrtleford they had one of their strongest performances of the year, winning by 46 points in a fairly free flowing affair.
“I’m expecting a similar style of game, but Myrtleford will be a lot tougher this time,” Cairns said.
“They have a few players we will definitely be mindful of, but we don’t want to take the focus off what we are trying to achieve.
“We want to increase our contested ball count and our tackling pressure and really put them under the pump.”
While a win should see the Magpies finish in sixth spot, the club’s reserves will reach the finals if they get up.
“The objective is to win senior football, but with our season coming to an end we’ll definitely be doing what we can to help the reserves get up,” Cairns said.

A Wangaratta man who admitted to months of harassment, threats and abuse of a former partner has been released from jail and given a chance to comply with court orders.
The 55-year-old appeared at Wangaratta Magistrates’ Court via a link from the Metropolitan Remand Centre pleading guilty to persistent breaches of family violence orders, threats, stalking, harassment and assault.
The court heard the man and a Melbourne woman had been in a casual relationship from January 2024 to April this year.
The man used two different mobile phones to communicate with the victim, including one under a different name and two
By GRACE FREDSBERG
Local environmental group Swamps, Rivers & Ranges will be hosting ‘Wildlife Tales’; a free, informative program on interacting with the environment and wildlife from 3-5pm at the Wangaratta CWA hall in Templeton Street this Sunday.
Joined by a panel of speakers who will provide extensive and varied insights on the importance of being in nature, as well as a nice cuppa and some afternoon nibbles, ‘Wildlife Tales’ promises to be both an enjoyable and motivational event for attendees.
Sophie Enders, project coordinator at Swamps, Rivers & Ranges, said the event presents a fantastic opportunity for members of the community.
different Facebook profiles.
Court orders which were placed on the 55-year-old from December last year restricting contact between the pair would be continually breached.
The man used abusive and threatening language to the victim and called them countless derogatory terms.
Throughout one week in March, the man called or texted the victim more than 1000 times.
The court heard the victim felt if they blocked or ignored the man, it would only fuel his abuse.
During a stay at the victim’s home on 17 April, the woman snuck out of bed with the accused and went to sleep in the spare room during
the middle of the night.
The accused approached the victim and spat in her face while she was in bed, hurling vicious abuse.
He made 50 calls to the woman in one day later that month, asking if he could stay at her place to appear at court for the prior offending.
When denied, the victim was frightened by threatening messages, with the man telling the woman he would “punch her teeth in”.
From May the 55-year-old contacted the woman hundreds of times and 658 times throughout July, despite more court orders placed against him.
He began another message tirade on 30 July, including a video of him-
self spitting into his phone camera and he was arrested later that day.
He told police he didn’t recall contacting the woman and if he did it was because he “was on the gear”.
Defence counsel Nadia Giorgianni said her client was committed to bringing a stop to his alcohol and drug abuse which had in the most part led him to threaten the woman with “vulgar, horrible” abuse.
Ms Giorgianni said the 55-yearold’s first stint behind bars in a decade had been sobering for him, not only due to his withdrawal from substances.
“It has shown him if he continues this unruly behaviour the only place he will end up in is
back in custody,” she said.
“This may well be the wake up call he needed.”
Ms Giorgianni said her client had “surprisingly” been otherwise compliant with a community corrections order imposed on him in May, having just begun counselling, enrolled into a men’s behaviour change program and completed 32 of 100 hours of community work.
“He is on that road to get the help he needs so he doesn’t have to come back to court,” she said.
Magistrate Megan Casey bailed the Wangaratta man and adjourned the matter for deferred sentence on 26 November, releasing the man to comply with his court orders.

“This will hopefully leave attendees feeling inspired to go out and spend time interacting with our local environments and wildlife, and equipped with some ideas on how to do so.”
“There will be an opportunity to listen to the views of our panellists, ask questions, and enjoy some discussion with likeminded people,” she said.
On the day, attendees can expect discussions surrounding the importance of interacting with the natural environment told through the lens of landowner Gianni D’Ortenzio, who will unpack mental health aspects of being in nature.
Penny Raleigh from Ovens Landcare Network will also

talk about the connection to the natural environment, while Jiarra Atkinson, a Murray Darling Wetlands Working Group cultural liason officer Jiarra Atkinson will talk about the traditional owners’ connection to the land.
“With busy lives and the colder months sometimes it’s easy to forget the benefits that interaction with our natural environments has for our wellbeing and mental health,” Ms Enders said.
“Time in our natural landscape is good for us and good for the environment.”
For more details email swampriversranges@gmail.com to secure a spot.

Brown
An exhibition by resident artist Karen Brown called Beneath Your Feet is open at the Art Gallery on Ovens in the laneway off Murphy Street.
Karen is an Albury based artist who celebrates the uniqueness of eucalyptus foliage in detailed works created using coloured and graphite pencils and acrylic paint.
The exhibition will be open on Friday and Monday from 10am until 4pm and on Saturday and Sunday from 10am until 2pm and entry is free.
Primavera: Young Australian Artists, the MCA Australia’s annual exhibition for artists aged 35 years and under, presents work by six early-career artists who challenge society’s prescribed structures to deliver compelling alternatives to the status quo.
Each artist draws on their lived experiences, reckons with the perils of history, education, culture and language to question authoritative structures and systems.

Guest curated by Sydney based artist and curator Talia Smith, Primavera features artists Tiyan Baker (NSW), Christopher Bassi (QLD), Moorina Bonini (VIC), Nikki Lam (VIC), Sarah Poulgrain (QLD), and Truc Truong (SA), and it can be seen at the Wangaratta Art Gallery until 19 October.
Newcastle based artist Gillian Bencke’s exhibition Us is being held in Gallery 2 at the Wangaratta Art Gallery.
Bencke’s work re-imagines commonly collected itemsephemera, keepsakes, heirlooms from personal and institutional collections - through a textile-based practice.
Working across sculpture and installation, Us brings together a body of new work that uses the language of museum display to examine our motivation and determination to collect, preserve and express our identities through personal and cultural artefacts, and it can be seen until 14 September.
Groundbreaking group the Shamrock Tenors will share their fresh Irish energy with the audience when they visit the Wangaratta Performing Arts and Convention Centre on Sunday, 31 August.
Acclaimed for their contemporary take on traditional Irish music, the vocal group promises an unforgettable celebration of Irish culture, music and spirit.
Hailed as “Ireland’s most exciting new folk music sensation,” the Shamrock Tenors are returning to Australia following a string of sold-out performances across the UK, and a showstopping set before 20,000 fans at London’s Trafalgar Square.
Blending West End theatricality with authentic Irish tradition, the
group features stars from major productions like Les Misérables alongside Northern Ireland’s top multi-instrumentalists.
Jimmy Johnston, Matthew Campbell, Raymond Walsh, Jack Walsh, and newest and youngest member of the group, Nathan Johnston, bring a vibrant energy to beloved classics such as Danny Boy, Whiskey in the Jar, The Parting Glass and Wild Rover - all delivered in stunning five-part harmony.
With a unique mix of Irish charm, exceptional vocals and high-octane instrumental flair, the Shamrock Tenors offer a concert experience transcending generations, inviting audiences to experience the Emerald Isle like never before.
Founder and group member


A collection of works on paper incorporating handmade brushes and inks, sourced and made from the surrounding bushland and plants which the artist has grown on the land where she lives, is on display in the WPACC foyer gallery.
Untamed features the work of Barbara Pritchard, who creates from her studio set amongst bushland on Dhuduroa, Jiatmatang country, in the Snowy Mountain region of Victoria.
Working primarily with pen, ink, wash and mixed media she is drawn to the immediacy and seductive quality of line and mark making to capture the essence of the landscape.
Untamed is on display until 10 September.
The Wangaratta community market runs every Sunday (except Easter Sunday) at Moore Than Swimming, located at 11-13 Mason Street in Wangaratta, from 8am until 1pm.
There are a wide range of stalls to browse with new and used items, plants, fruit and veg and more, with refreshments available.
Raymond Walsh said they wanted people to feel in a theatre as if they could be “in a bar in Galway.”
“Irish music is all about enjoyment, letting loose, leaving any sort of worries at the door, and just coming in and having a nice night of escapism,” he said.
The group has enjoyed global success following their sold-out debut on London’s West End, racking up over eight million views across social media platforms, with their first two singles reaching number one on the iTunes World Music Charts.
The Shamrock Tenors will perform an afternoon show in Wangaratta on Sunday, 31 August at 3pm, with tickets available now at wpacc.com.au or by calling the box office on 5722 8105.
Stalls are available for just $20 each (no bookings required) and car boot sales are welcome for $15, with more information via the market’s Facebook page or call Sheree on 0401 665 886.
Take a trip down memory lane each weekend by visiting the Wangaratta Historical Society and Museum in the old fire station in Ford Street.
The museum is open every Saturday and Sunday from 10am to 1pm and entry is free, with exhibitions updated regularly.
For more information email wangarattahistorialsociety@ gmail.com or drop in and have a chat.

By IAN DAVIDSON and CHRIS TZAROS
The White-plumed Honeyeater is one of the birds that call first in the morning and the last to call in the evening.
It is commonly seen along the red gum lined waterways and associated parks and gardens throughout our district, flitting around the canopies of trees and shrubs.
The White-plumed Honeyeater is a medium-sized honeyeater with a slightly down-curved bill.
It is yellowish-olive above, pale brown-grey below, with a yellowish head and a distinctive white neckplume, giving the bird its name.
The males are slightly larger than the females, but the sexes are otherwise similar.
The young are duller, with less distinct plumes and a paler bill.
They are often seen in small groups, constantly moving from tree to tree with rapid darting movements.
They are the only local honeyeater with a white neck-plume.
The Fuscous Honeyeater, another similarly sized honeyeater has yellow neck-plumes.
The White-plumed Honeyeater is found in open forests and woodlands across mainland Australia, often near water and wetlands.
It is absent in arid regions unless water is artificially supplied (e.g. dams for stock).
Their distribution is usually linked

to River Red Gums, although they are also found in remnant bushland in urban areas, as well as parks and gardens.
The White-plumed Honeyeater feeds actively from leaves and flowers in the crowns of trees and in shrubs, on nectar, insects and secretions from plants and insects like lerps, and honeydew.
They can also feed on flying insects or forage on the ground.
During the breeding season, male White-plumed Honeyeaters make several ‘song flights’ throughout the day above the treetops (10m-20m above ground) while singing a distinct song, before diving steeply into nearby tree.
Females build a small cup-shaped nest in the crown of a tree from up to 20m off the ground.
It is woven from grass and spiders web and lined with wool, hair or feathers.
Females incubate the eggs but both parents feed the young, sometimes with the assistance of helpers.
Two to three clutches are laid each year.
We are fortunate locally that they are still very common, primarily because of the many red gum lined waterways throughout our region.
At times, in limited areas, when their numbers are strong, they are known to harass and compete with smaller birds like thornbills and fantails for the available habitat.


Apanel of people with lived experience sharing their stories was among the features of a recent Rural Australians for Refugees Indi forum in Wangaratta.
Held in Rowan Street’s Uniting Church Hall on Saturday, 16 August, the forum attracted more than 60 people, drawn from Wangaratta, Myrtleford, Corowa, Wodonga, Shepparton, Mansfield, Alexandra and as far as Marysville.
Highlights of the day included presentations by former Human Rights Commissioner and patron of RAR Australia Gillian Triggs, and by local Independent Federal Member for Indi Helen Haines, as well as the panel of four people with lived experience of being or working with refugees.
Ms Triggs said that in her broad experience, rural communities were the first to welcome and care for vulnerable and traumatised refugees.
She said that following World War 2, about two million people were displaced and sought refuge; in 2025, an estimated 122.6 million people have been forcibly displaced, and 4.3 million are refugees of whom 40 per cent (and rising) are children.
She said less than one per cent of the two million refugees identified by the United Nations High Commissioner for Refugees had been resettled in the USA, Canada, Australia and European states.
Ms Triggs said it was important to understand and respond to root causes of forced displacement; find local solutions to stabilise populations in their own or safe neighbouring countries; and to include refugees and asylum seekers in national social safety systems, access to work, school, freedom of movement, and building self-sufficiency.
She said the responsibility

for refugees should be equitably shared - not only by governments but local communities, faith groups, refugee-led organisations, sports groups, schools and universities, parliamentarians, the private commercial sector, and international financial institutions.
Having the political, legal and moral responsibility to welcome and speedily process asylum seekers, and to address root causes and provide humanitarian and compassionate support, was also vital, according to Ms Triggs.
Dr Haines spoke about the deep commitment expressed to her by Indi constituents through letters and personal representations, and of the advocacy she provides for refugees through
her interaction with the government.
She encouraged those attending the forum to write to her about their issues of concern, so that she could gain a true perspective of local attitudes.
The four-member panel of people with lived experience then outlined more of the reality of the refugee and migrant experience.
Hamida Samar, who worked in various local jobs after arriving in Mansfield from Afghanistan, described the barriers experienced by many refugees when seeking employment - including discrimination, and lack of information and follow-up from government-funded agencies.
A member of Mansfield
RAR and a strong advocate for women’s rights and safety, Hamida is developing accessible information to assist newly-arrived people to apply for work and understand their work rights.
Rabya Jamshaid and her family arrived in Shepparton, and following her university postgraduate studies, she works as a professional migration agent with people and communities in the Goulburn Valley, specialising in refugee visas and family reunion.
She has worked with RAR Indi to develop the innovative regional sponsorship proposal, which has been supported by seven regional councils, and continues to advocate for women and children in Afghanistan.

Department in educational support and as a family liaison officer for 15 years, and is a founding member of the Goulburn Valley Afghan Women’s Association Shepparton, helping to engage women in the local community.
Zahra also mentioned the language barrier, and spoke about how trauma and mental health issues could isolate newly-arrived people, especially women experiencing domestic and family violence, and the importance of welcoming and supportive services for language, safe housing and health care.
Sam Atukorala, who arrived in Australia as a student and now lives in Shepparton with his family, is the chief executive officer of the Ethnic Council of Shepparton and District, and works with regional communities, organisations and groups to help to break down barriers and provide greater opportunities for new arrivals to connect with and contribute to the community.
Rabya said learning to speak English was the main barrier and challenge for women seeking information about services, employment to develop independence, and socialising. She stressed the importance of overcoming this language barrier, and of the valuable support people can provide to refugees to locate essential and interpreting services, assist with school and TAFE, enrolments, open a bank account, and to share and connect with local community members.
Zahra Khademi arrived in Australia in 2001 with three young children, and lives with her family in Shepparton.
She has worked with the Victorian Education
Sam said he had little understanding of the challenges faced by refugees before coming to Shepparton. Being actively involved with diverse local communities, through sport, as a volunteer and professionally, has helped him to develop understanding, connections and networks.
He emphasised the importance and value of working with and learning from people with lived experience to identify priorities for local communities and determine how best to address them.
Following a lunch break at the forum, attendees divided into groups to identify and recommend actions for the future strategic plan to the Indi RAR committee.
Anyone seeking more information about RAR is encouraged to contact Suzie on 0428 575 971.



Quality in construction and design, this townhouse is perfectly positioned in Wangaratta, only a short walk to all things that make central living so appealing.
This spacious townhouse provides a primary bedroom with a full ensuite and walk-in robe along with two additional guest bedrooms both with built in robes.
Versatile open plan living, and dining
areas flow seamlessly through to the outdoor courtyard.
The kitchen is well appointed with stainless cooking appliances, dishwasher, stone benches and large breakfast bar.
Other features of this property include a study, guest powder room and a double lockup garage with both internal and rear yard access.
Refrigerated heating and cooling via
split systems provides the perfect climate throughout all seasons.
This property is perfectly positioned within walking distance to it all, 125m to the closest café, 170m to a petrol station, 330m to the supermarket and only 650m to the CBD.
This property is perfect for anyone looking to downsize, invest or professionals looking to live centrally.
Potential rent is $600 per week.






The
There
Please







This modern townhouse is located in a very private West End location in Wangaratta providing a low maintenance allotment with spacious living.
It features two bathrooms, three bedrooms, with the ground floor primary featuring an ensuite and walk-in robe.
The townhouse is cleverly designed to capture natural light and maximise modern open plan living.
The kitchen is well appointed with stainless cooking appliances, dishwasher and good bench space.
The versatile open plan living and dining areas flow seamlessly through to the spacious north facing outdoor courtyard.
Refrigerated heating and cooling provide perfect climate throughout the year via split systems and there is gas hot water.
Bathrooms provide separate showers, stone benches, and ample storage.
3 2 2
Agent | Harcourts Wangaratta
Phone | (03) 5722 9444
Price | $479,000
Land | 209m2 (approx)
Location | 7/23 Orkney Street, Wangaratta
There is also a single lockup garage with additional car parking within walking distance to the local shops, schools and sporting facilities.
A rural outlook contributes to charm. This property is ideal for anyone looking to downsize or a potential investment.
Search over 10 million properties Australia wide. Whether you’re buying, selling, renting or researching, the View app has everything you need in one place. See all properties with view.com.au



































By DEREK OGDEN, MARQUE MOTORING
With the landing of its Cannon Alpha plug-in hybrid electric vehicle (PHEV) in Australia, Great Wall Motors has shot its big ute into a leading spot in the segment.
The Chinese maker claims the PHEV sets a new yardstick in performance, range, and capabilities for electrified vehicles in the segment.
GWM’s second model to enter the growing PHEV market in Australia, following the Haval H6GT PHEV, the Cannon Alpha PHEV comes in two variants; Lux and Ultra, which are on the market for $63,990 and $68,990 respectively, driveaway.
The maker claims the Ultra (on test) has an EV range of 110km (even off-road and in 4WD) and a combined ICE and EV touring range of 880km, utilising the 75-litre petrol tank.
Charging times from a DC fast charger are reckoned at 24 minutes from 30 to 80 per cent charge.
The Cannon Alpha PHEV is backed by GWM’s comprehensive customer care program, offering an eight-year unlimited kilometre battery pack warranty, seven-year unlimited kilometre new car warranty, seven-year roadside assistance with 24/7 support, and seven years capped price servicing.
STYLING
On first glance, the Cannon PHEV is instantly recognisable, if not for all the right reasons.

(front and rear), and head-up windscreen display.
■ AHEAD OF THE CURVE: GWM’s Cannon Alpha PHEV is leading the way in electrified utes.
following months of close collaboration between GWM and ANCAP.
cent charge in just 26 minutes.

There are physical controls on the steering wheel, and volume controls on the swipe-down, but a volume knob wouldn’t go astray.
The Cannon Alpha plug-in hybrid’s infotainment system does allow for a lot of special controls around the powertrain - camping modes, power preservation, charging cycles, and energy consumption.
Contributing to the top rating are seven airbags, autonomous emergency braking (AEB), AEB junction assist, lane change assist and lane keeping assist, hill descent control and rear collision warning.
When using an AC home charger, the battery recharges from near empty to full in approximately 6.5 hours.
Vehicle-to-load (V2L) capabilities of up to 3.3kW output is included and enables the Cannon Alpha to provide AC power to devices and some home appliances.
Up in size comparison to the ICE Cannon ute, just shy of five-and-a-half metres long (13.1m turning circle), with a tidy 3350mm wheelbase, the Cannon Alpha leaves Ranger, D-Max and HiLux in the shade.
A panoramic sunroof, on the other hand, opens up the cabin to the great outdoors.
The Cannon Alpha Ultra PHEV is decidedly commercial vehicle plush, with quality features including leather accented seats, driver’s seat eight-way electric adjustment, front passenger seat six ways, and heated/ventilated/massage front seats.
Heated/ventilated rear outer seats have a recline function and two-way electric adjustment. Surprisingly, leg room is not limited by the adjustments.
Oh, and there’s a heated
The spare wheel sits up to the right of the tub (blame the battery pack), taking up precious load space, while the split tailgate, on test, was an open and shut case – press the button once to drop the lot, or twice to split it. Sometimes it went to script, others not so.
steering wheel and a twee analogue clock in the centre stack.
Up front, décor is de rigueur for a big ute with panelling across the dashboard, while piano black and satin, metallic-looking section are suckers for smudges and spots.
Cupholders take up positions down near the centre console, and a wireless charging pad is tucked under a sliding panel.
Power outlets are easy to get at.
The Lux grade includes 360-degree view monitor, 12.3-inch full-colour driver instrument cluster and similarsize touch screen infotainment system, wireless Apple CarPlay and Android Auto connectivity, plus front and rear USB outlets.
Ultra adds nice touches with 14.6-inch full-colour touchscreen infotainment system in place of the Lux 12.3-inch display.
Also upgraded are the premium Infinity audio system with 10 speakers and amplifier, wireless phone charger
Powered by GWM’s Hi4-T Plug-in Hybrid EV technology and equipped with a 37.1kWh ternary lithium battery, the 2-litre turbo-petrol engine delivers a combined 300kW of power and 750Nm of torque.
The two ternary lithium batteries under the Cannon Alpha of 15.2kWh and 21.9kWh add up to total battery capacity of 37.11kWh.
Paired with GWM’s ninespeed automatic transmission, it offers up to 110km of pure EV driving range, with a combined range of 880km - 10 per cent more than its nearest rival.
GWM’s 9AT gearbox is no bigger than a conventional six-speed auto.
Despite this, the unit achieves an impressive 97 per cent efficiency by utilising a lower viscosity gearbox oil, and is engineered to handle a maximum of 750Nm.
The all-new Cannon Alpha PHEV has received the maximum five-star safety rating from the Australasian New Car Assessment Program,
For a start (literally), setting off in the Cannon Alpha PHEV can be something of a mystery with acceleration – from pedestrian to spritely - out of proportion to the pressure on the pedal.
Initial response was not without a deal of lag.
Open road fuel consumption on test was recorded at 26.8kWh per 100km and 0.7 litres per 100km.
The multimedia screen displays charging status and time, as does the GWM app.
Filling the fuel tank with petrol is per ICE vehicles.
The system has multiple modes to suit drive conditions such as EV priority, full EV, and intelligent modes.
The Hi4T technology allows the engine to remain in EV mode in 4x4 high range mode, in addition to supporting EV-only driving at highway speeds, a first for the segment.
Alpha PHEV in EV mode is primarily rear-wheel drive. Lock into 4×4 and the transfer case directs a 50:50 split front-to-rear. Off road, 4×4 is easily engaged via a centre-console push button.
The battery supports DC fast charging of up to 50kW, enabling a rapid 30 to 80 per
Class-leading 3500kg maximum braked towing capacity is carried over from ICE models, while an impressive 800mm water wading depth and 224mm of ground clearance ensure flexibility and versatility.
SUMMARY
For those wishing to take an each-way bet on electric vehicles taking over the automotive world and with public charging infrastructure lagging, the plug-in hybrid –external chargeable electric power with ICE back-up – is an early favourite.
RATINGS Looks: 7
Performance: 6
Safety: 8
Thirst: 7
Practicality: 8
Comfort: 7
Tech: 8 Value: 8
SPECIFICATIONS (GWM Cannon Hi4-T PHEV Ultra 2-litre turbocharged 4-cyl petrol/ electric motor, 9sp auto, 4x4 on demand/low range, ute).
STANDARD WARRANTY
Seven years / unlimited kilometres. Eight years (batteries). Seven years capped price servicing.
Eurobin Game Meats Company Slaughterhouse has won its case for a permanent injunction to prevent footage illegally taken inside its operations.
The Full Court of the Federal Court of Australia this month delivered its judgement in the Game Meats Company v. Farm Transparency Project case, choosing to allow an appeal which would permanently restrain Farm Transparency Project from publishing footage obtained using covert cameras, installed at the Eurobin Game Meats Company Slaughterhouse last year.
The footage, which depicted the slaughter of goats at the facility was ordered to be destroyed.
The court upheld the Game Meats Company’s argument it should be granted copyright over the footage.
A permanent injunction was initially rejected by the Federal Court, leading to this appeal launched by the slaughterhouse.
Farm Transparency Project’s directors, Chris Delforce and Harley McDonaldEckersall, who both gave evidence in the original trial as to their role in capturing the shocking footage, say their team have serious concerns about what this judgment will mean for the future of transparency in Australia.
They said they are exploring options to appeal the decision to the High Court.
By JEFF ZEUSCHNER
Planning approval has been recommended for stage three of the most significant residential development Bright has seen in decades.
A report from council officers to go before Alpine Shire councillors recommends planning permit approval be granted for Bright Valley Development stage three’s 53 lot subdivision of 2.25 hectares of land adjoining the Great Alpine Road on the western
entrance to the township.
The report was to be considered at Tuesday’s scheduled council meeting, but the meeting was postponed for two weeks due to a fatal police shooting and ongoing incident near Porepunkah.
The subdivision will be a sequential continuation of stages one and two (comprising 78 lots) which were approved in November 2023, and provides for lots to the north and east of these earlier stages where extensive
earthworks remain ongoing to accommodate the development of roads, services and drainage.
Stage three of the development has a dwelling density of roughly 17 lots per hectare, ranging from 198sqm to over 632sqm, with the majority (89 per cent) between 300sqm and 600sqm.
Yesterday’s report before councillors said North East Water, Country Fire Authority, Department of Transport
and Planning, North East Catchment Management Authority, SP Ausnet and Goulburn Murray Water had all provided conditional consent for stage three.
The report said the range of small to mid-sized allotments were configured to mitigate potential bushfire risk, subsequent environmental impacts, and ensure the proposed subdivision can comply with requirements within a bushfire prone area.
“In summary, stage three

Second year for sausage-dog
By PHOEBE MORGAN
Police are investigating suspicious fire at Bright
Wangaratta and Bright members of Victoria Police are currently investigating a suspicious fire at a Bright business on Monday morning.
At approximately 6:30am, the front of a restaurant in Barnard Street was set on fire.
Three CFA units from Bright and one from Harrietville attended the scene.
Victoria Police were notified, due to the suspicious circumstances of the blaze and the incident now remains under investigation.
“We are currently seeking assistance from the public,” Detective Senior Constable Tim Doyle of Wangaratta Crime Investigation Unit said yesterday.
“If anyone saw suspicious behaviour around that time, contact the unit at Wangaratta Police Station (03) 5723 0888 or Crime Stoppers on 1800 333 000.”
This year’s Oktoberfest and Dachshund Derby at Mountain Monk Brewers is sure to be bigger and better than last year, with organisers successfully granted $5000 as part of the Alpine Shire Council’s Events Funding Program 2025/26.
More than 40 community events received a share of $143,000 in grants, to put on community events throughout the next financial year.
“The funding from Alpine Shire is absolutely essential for us,” owner and operations manager at Mountain Monk Brewers, Steph Bellman said.
“It makes it possible to keep Oktoberfest and the Dachshund Derby free of charge for the community.
“Running an event of this scale involves enormous costs in terms of music, logistics, staffing and entertainment.
“While many people might assume these events are profitable, the reality is quite different.
“Without grant support, we would have no choice but to charge an entry fee just to break even, like many other businesses do.
“Thus, we are super grateful for the grant received last year and, again, this year.”
The funding will go towards keeping the live music going throughout the day, for free, providing free kids’ entertainment such as face painting and games and the logistics and infrastructure to keep everything running smoothly and safely, including rubbish removal.
“For us, it’s really about bringing the community together, creating a fun day out for all ages and making things happen in town that people genuinely look forward to,” Ms Bellman said.
“Last year’s Oktoberfest and Dachshund Derby drew over 400 patrons and 75
dachshunds: it was such a joyful day and we’re hoping to grow on that success this year.
“We’re also super excited to announce a very special guest: Valerie the Dachshund, famous for surviving alone on Kangaroo Island for over a year.
“She’ll be joining us for the derby and is sure to be a big hit.
“We can’t wait to see everyone in October.”
For more information and to purchase tickets for this year’s celebrations, visit: https://events.humanitix. com/2025-mount-beautydachshund-derby
of the Bright Valley Development supports the continued and appropriate increase in lot yield within a developing and serviced area of the Bright township and on this basis can be supported,” the report concluded. The total 40 hectare Bright Valley Development subdivision was identified through the Alpine Residential Land Review as a preferred area for the urban growth of Bright in order to facilitate additional residential development.
An award winning potentially life-saving community health program pioneered in Myrtleford has secured funding to continue and expand into next year.
Myrtleford’s Alba Health has successfully gained further funding through the Murray Primary Health Network (PHN) until the end of June 2026, to continue to deliver the Healthy Hearts Program to the community, as well as extending it to include a lung health screening and intervention program.
Now known as the Healthy Hearts and Lungs Program (HHLP), its primary goal is to identify individuals who may have undiagnosed chronic obstructive pulmonary disease or asthma and individuals who are eligible for the national lung cancer screening program.
“Given the area’s history of tobacco growing, general farming and industrial sectors, there is potential for undiagnosed chronic obstructive lung disease (COPD) and asthma,” Alba Health practice manager and exercise physiologist, Greta Donaldson said.
“We have been fortunate enough to engage Dr Maitri Munsif, medical lead for chronic obstructive pulmonary disease at the Northern Hospital in Epping, to consult with us as part of our expanded program.”
The Yackandandah and Indigo Shire community celebrated the completion of Yackandandah’s second community battery, Yack ’02 at the local sports park this month.
The 65kW of solar and 100kW/200kWh battery is a testament to two years of focused work and collaboration.
This project received substantial grant funding from the Victorian government via the 100 Neighbourhood Batteries
Program and the Australian Ethical Foundation, with additional funds from Yackandandah Community Centre.
The recent installation has already reduced the Sports Park facility power bills to near zero with the battery charging from solar generation on the sports park roof. Power is used by sporting clubs each evening and the battery will export to the grid helping to reduce evening dependence on fossil fuels.
President of the Yackandandah Sports Park committee, Michael Walsh, said the committee was thrilled to have this dynamic contribution from so many supporters.
‘This install gives us a huge nudge forward in our efforts to build an even better facility to support sport, recreator and community benefit,” he said.
With the increasing likelihood of extreme weather events, the battery
also provides backup power to the main building.
During electricity outages, this provides a functional community facility with shelter, lighting, device charging, air conditioning, catering facilities, showers and toilets.
TRY president Matthew CharlesJones, said TRY continues to hunt for, and implement pathways to save people money, reduce carbon emissions and build a fairer and more resilient power supply.

Do you have a creative idea that will attract visitors and showcase the best of our region? We want to hear from you if you are planning an event in the Rural City of Wangaratta for 2026. Funding is available for up to $5,000 for major and marquee events, and up to $2,000 for minor events. Applications open 3pm, 1 September. Find out more and apply www.wangaratta.vic.gov.au/Your-Council/Grants-andfunding/Tourism-Event-Funding
Nominate a local hero for the 2026 Australia Day Awards in the following categories:
• Citizen of the Year
• Young Citizen of the Year (ages 16–25)
• Community Event or Project of the Year Nominate online: www.wangaratta.vic.gov.au/Australia-Day-Awards or collect a form from: Customer Service, Library, or Visitor Information at WPACC Nominations close at 6pm, Saturday 8 November 2025.
Applications are now open for the Community Sponsorships Program. This initiative offers one-year funding for local not-forprofit organisations to deliver social, cultural and environmental experiences for our community. Grants range from $1,000 to $10,000 for projects being delivered in 2025/26. Applications close at 3pm on 1 September. More information, eligibility criteria, and to apply: wangaratta.vic.gov.au/Community-Sponsorships
Find out when your bin will be delivered here: www.wangaratta.vic.gov.au/PurpleBinDelivery
Are you aged 10–19 and love writing? Share your talent by submitting an original piece to the Wangaratta Young Writers Award. Presented by the Rotary Clubs of Appin Park and Wangaratta, and supported by Wangaratta Library, this is your chance to grow as a writer and be celebrated. Entries close 19 September. Forms available at the Wangaratta Library and online www.wangaratta.vic.gov.au/Locations/Library/YoungWriters-Award



• Council Committees Policy 2025 | closes 29 August
• Road Management Plan 2025-29 | closes 29 August
• Training, Placement & Transport | closes 30 September
• Draft Council Plan | closes 26 September
• Draft Financial Plan 2025-2035 | closes 26 September
• Draft Asset Plan 2025-2025 | closes 26 September
You can make an appointment with a council officer to discuss our current Plans in person, or come along to one of our pop ups:
Thursday, 4 September 4-6pm Wangaratta Library Tuesday, 9 September 11am-2pm Reid St Kiosk Monday, 15 September 8-11am Wangaratta Sports and Aquatic Centre
Application No PlnApp24/124
Location 1473 Boorhaman Road Boorhaman Vic 3678
Proposal Multi-lot Subdivision and removal of Native Vegetation Applications close 2 September 2025.

Following extensive community engagement and consultation - the Rural City of Wangaratta has officially endorsed its new Community Vision 2045. Find out more here: www.wangaratta.vic.gov.au/Our-Community-Vision



Between now and 14 September, your household may receive a call from National Field Services, an independent research agency conducting a survey for Council. The aim is to assess Council’s performance and improve service delivery.
Your responses are confidential, only overall results are shared with Council. Calls will come from a number with the prefixes: (03) 5202, (03) 5141 or (03) 4217, not from mobile numbers. Please call Council on 5722 0888 with any questions. Thank you for your time and valuable feedback.
Local community groups, organisations, and vendors are invited to express their interest in being part of our Summer 2025–26 program. If you’re hosting a community event or would like to join Council-led events as a vendor or activity provider, we’d love to hear from you.
• 2025/2026 Summer Program Event
| Applications close 28 October
• 2025 New Years Eve Food & Beverage Vendor
| Applications close 28 October
• 2026 Outdoor Ball Food & Beverage Vendor
| Applications close 14 December
For more information visit our website: www.wangaratta.vic.gov.au/Summer-EOI
54648 CBD Pedestrian Improvements
Tender closes at 2pm on 9 September 2025
81311 Sunset Drive Pump Station
Tender closes at 2pm on 4 September 2025
57516 Annual Road Reseal
Tender closes at 2pm on 4 September 2025
18791 Trade Services Panel
Tender closes at 2pm on 24 September 2025
Council is calling for experienced and qualified tradespeople to join our Panel of Preferred Contractors. The panel will support maintenance and minor capital works across Council-owned buildings and facilities.
The panel will be in place for three years.
Further details may be obtained by visiting eProcure on Council’s website.
For








Cathedral College Wangaratta runs extensive bus services transporting our students from a large regional area.


Please contact the College if your firm is interested n quoting for these services commencing in 2026 for a three-year period.
Expressions of Interest close on Friday September 12, 2025.
Please email the College at: rmoore@catherdalcollege.vic.edu.au for further information.

PETER SNOWDON ENGINEERING HAS RELOCATED
Relocated to 1/24 Gibson Street, Wangaratta.
M: 0419 573 791
For all your welding and fabrication needs.

Quality-built sheds, carports, pergolas, machinery repairs, farm equipment, trailers and more.

Notice is hereby given that the Annual General Meeting of the Da Vinci Social Club Inc will be held at the Club 55 Pyles Lane Laceby, on Sunday, August 31 2025 at 2pm.
FLY fishing course, full day course covers the basics of fly fishing, including equipment, casting tuition, fly selection and streamcraft, to be held on Sunday, October 12, 10am4pm at the Log Cabin, 28 Chisholm Street, Wangaratta, cost $70 includes lunch.
To book your place contact 0427 756 665.
FREE Range Hens, ISA Brown Pullets, POL, $35 each. Phone Becky or Hugh on 5798 1868.


2017 Silver Valley Caravan, 19.6 ft, 3-way fridge, microwave, full oven, gas and electric hot plate, washing machine, queen bed, tv, cd player, solar etc. $45,000. Phone Robert 0402 688 643.
To Visit Visited
LOTS of plants, large pots, orchids, some bonsai, ferns, succulents, various household items, last weekend, Aug 30-Aug 31, 10am3pm , no early callers, 88 Docker St. Wangaratta.
WHEELER
Earthworks, available for all your earthworks needs - yard clean ups, stump removals, driveways, material supply and spreading, rural work and more. Call Marcus on 0491 094 545.
LAWN MOWING , pruning and rose pruning, quality work at a competitive price. Phone Paul 0431 945 320.
CONCRETING , all types. Big or small jobs, concrete demolition and removal, Bobcat and Excavator work.20 years’ experience. For a free quote phone Trev Anderson on 0422 200 761.
DJ and CL Collison
Concrete and Kurb, all concrete works, residential and commerical, free quotes. Call Dave 0457 155 564.
PAINTER, old school, for all your painting needs, commercial, industrial renovations. Phone Juliano 0412 597 482.
OLD cars wanted, cars removed. Ph 0435 083 115.
JAYCO Westport 20ft 2000 model, sleeps 2, annex, combo shower toilet, aircon, solar, diesel heater, tv, radio, everything works, very good condition, $21,500. Phone Terry 0428 398 360.
REGAL Popup, no aircon, RWC, Devenish, Ph Gabrielle 5764 4332
WORK! 5723 0101

2022 15ft Signature
Iridium S Offroad Hybrid van, great condition, $49,900, more details on Caravancampersales. com.au. Ph 0418 609 877.

CARABANA for sale, will tow just needs a light bar and permits, gas works on fridge and stove, will make a great spare room, $2000 ono, only serious buyers need apply. Ph 0424 053 334.





HOUSES FOR REMOVAL
Period to Contemporary Call Kevin 0411 103 745
JOIN OUR BOARD – THE CENTRE FOR CONTINUING EDUCATION
Help shape education and community programs across our region!
The Centre is a not-for-profit Community College (est. 1962) seeking Non-Executive Board Directors.
We’re looking for people with:
• Skills in finance, legal, community or education
• Strong communication and confidentiality About the role Voluntary position, 11 meetings per year. (3–5 pm weekdays) plus occasional event representation.
Professional development provided; first-time applicants with no prior experience welcome. We encourage applications from ATSI, CALD, LGBTQIA+ communities and people with a disability.
Enquiries and Apply:
Contact Lora Watson on (03) 5721 0200 or ea@thecentre.vic.edu.au.
CELEBRANT
REGISTERED BUILDER
Required to oversee domestic building works up to $50k. Could suit retirees. Call Kevin 0411 103 745.
Full or Part Time Opportunity
North East Media the publisher of Wangaratta Chronicle has an opportunity for a Print Assistant to join our established team based at our Wangaratta print site. No experience in the print industry is required.
Duties Include
• Supporting our technical print team in producing over 25 newspapers every week.
• Assisting the lead Printer in the operations of the press, including set up and production
• Job preparations using raw materials such as plates, paper and ink.
• Helping operate the newspaper collating machine
• General housekeeping of working environment such as cleaning and keeping area safe.
• Newspaper and magazine deliveries. Please send applications to: Edward Higgins CEO North East Media ehiggins@nemedia.com.au

Ozmist is a Wangaratta based company that is looking for a Bookkeeper / Receptionist to join their team. The position is permanent part time for 16 hours preferably split between 4 days but can be flexible. Knowledge of XERO is preferred but not essential. For details of the position email dean@ozmist.com.au.

Roxanne Bodsworth. Available for weddings, funerals, namings, and all your celebrant needs. 0428 401 964 rbodsworth@ outlook.com www.sunwyse. com.au

JOIN THE NESAY BOARD OF GOVERNANCE
North East Support and Action for Youth (NESAY) are currently seeking expressions of interest from passionate and community-minded individuals to join our Board of Governance.
If you have skills in governance, leadership, or community services and want to help shape the future for young people in our region, we’d love to hear from you
To learn more about the role and how to apply, please visit:
nesay.com.au
We are thrilled to announce the arrival of our beautiful baby girl, Elodie Clare Burbury, born August 24, 2025 at Wodonga Hospital. Proud parents Sam and Alana Burbury are overjoyed, and baby is happy and healthy, weighing 10.1 lbs and measuring


BEVACQUA, Giuseppina. 14/11/1936 – 25/8/2025
Passed away peacefully at Sunshine Hospital with family by her side.
Loving wife of Carmine (dec).
Much loved mother and mother-in-law of John (dec), Kim, Frank, Jenny, Frances, Peter, Tony, Jenni, Alex, Jayne. Adored Nonna of Alex, Chris, Jordan, Maddie, Codie, Jonah, Stephanie, Jacob, Jasmina and Bis Nonna of Eloise and Audrey. In our hearts you will always stay, loved and remembered every day.

COSTANTINO, Bernarda Ida ‘Berna’. 7/10/1931 – 23/8/2025

Passed away peacefully at Myrtleford Lodge on Saturday August 23, 2025.
Beloved wife of Vince (dec).
Much loved mother and mother-in-law of John and Pearl, and Silvano and Bernadette.
Adored Nonna of Vinnie, Laura, Ryan and Matt. Cherished Bis Nonna of Daniella, Iyla, Sylvie and Indi. Riposi in pace.

Jane.
3/5/1943 - 26/8/2025

Formerly of Boweya, Victoria. Passed away peacefully at St Johns surrounded by loving family.
Dearly loved wife of Bob. Loved mother of Nick, Ben and Chris. Wonderful mother-in-law of Heather and Virginie.
Cherished grandmother of Harry, Jimmy, Toby, Olivia and Tom. Loved by all, forever in our hearts.
A gathering to remember Jane will be held on Saturday, September 6, 2025 from 2pm at the Oaks Room, Wangaratta Turf Club.
A life full of laughter, friendship, family (and the occasional brandy!).

Bernadette, you will be greatly missed in our street. Thanks for spoiling our dog, Diesel. He loved you and all the treats!



McNAUGHT (nee Egerton), Jennifer Joan. 8/11/1953 – 23/8/2025
Passed away at Germantown surrounded by loving family. Aged 71 years.
Dearly loved wife of Fraser.
Loved mother of Robert and Rebecca.
Cherished Mim of Heath, Murray, Ewan and Mayumi.
Dearly loved, forever in our hearts.


Requiem Mass for the repose of the soul of Giuseppina will be held on Thursday, September 4, 2025 at St Patricks Catholic Church, Wangaratta commencing at 11am.
At the conclusion of mass, burial will take place at the Wangaratta Lawn Cemetery.


A Requiem Mass for the repose of Bernarda’s soul will be held at Our Lady’s Catholic Church Wangaratta, Corner White Street and Murdoch Road, Wangaratta commencing at 1pm on Friday, September 5, 2025. The funeral will leave at the conclusion of prayers for interment at the Wangaratta Vault Cemetery.







MURTAGH
Requiem mass for the repose of the soul of Marie will be held on Monday, September 15, 2025 at Our Lady’s Catholic Church, corner of White Street and Murdoch Road, Wangaratta commencing at 1pm. Following refreshments at Our Lady’s Hall, the cortege will proceed to Hyem Cemetery, 8 Cemetery Lane, King Valley for burial.

STRIBLEY, Michael William.

The celebration of life for Michael will be held at St Joseph’s Catholic Church, Church Street, Beechworth, at 11am on Monday, September 1, 2025. At the conclusion of the service the cortege will depart for the Beechworth Lawn Cemetery. The service will be livestreamed and can be viewed at conwayfuneralhome.com.au

Wodonga | (02) 6024 1093 Mytleford | (03) 5752 2995












JUBILEE GOLF CLUB
Thursday, 21 August
Ladies stableford
Winner: Vicki Moorhead 35.
Ball winners: Bruna McDonald 34, Janet Wraith 33, Linda Stone C/B 33.
NTPs - 4th: Mary Jones, 8th: Sheree Coghill, 13th: Tamara O’Connor, 17th: Leeanne Carmody.
Friday, 22 August
Medley Stableford
Winner: Adrian Speziale 33.
Ball winners: Jacob Schonafinger 31, Joe Marjanovic 31.
NTPs - 8th: J Lloyd, 13th: J Marjanovic Jnr.
Saturday, 23 August - Ladies Par Winner: Angela Mitchell +2.
Ball winners: Chris Boseley +1, Marion Hunt -1, Linda Stone -1.
NTPs - 4th: Di Murphy, 8th: Linda Stone, 13th: Ange Mitchell, 17th: Kelly Roberts.
Men’s Par - third round of Presidents Trophy
A Grade winner: Gordon Paterson
+3. B Grade winner: Glenn Hunt C/B Jeffrey Elliott -1. C Grade winner: Brian Thomas -2. D Grade winner: Noel Holmes -2.
Ball winners: Jacob Schonafinger +2, Allen Bastin 0, Wayne Hibberson 0, Andrew Kelly -1, Jeffrey Elliott -1, Alan Sands -2, Fraser Jeffrey -2, Doug Ritchens -2, Joe Marjanovic -2, Martin VanRhee -2, Alex Jones -2, Oliver Andrew -2, Garth Fullerton C/B -2.
NTPs - 4th: O Andrews, 8th: M VanRhee, 13th: A Bastin, 17th: A Gigl.
Sunday, 24 August
Men’s and Ladies Medley Stableford Winner: Aaron Kungl 38.
Ball winners: Jack Stamp 37, Peter Evans 30, Glenn O’Connell 30.
NTPs - 4th: Jack Stamp, 8th: Glenn O’Connell, 13th: Peter Evans.
Tuesday, 26 August
Ladies 4BBB Stableford
Winner: Di Murphy and June Hateley C/B 45.
Ball winners: Janet Wraith and Lee Freeland 45, Judy Fogarty and Vicki Moorhead C/B 43.
NTPs - 4th: Judy Fogarty, 8th: Pip, 13th: Carol Myles, 17th: Di Murphy.
Wednesday, 27 August
On Saturday 23 August, Wangaratta council staff played the Regional All Abilities Rebellion Football team at Bindall Avenue Reserve.
The teams matched each other goal for goal until late in the final quarter, when a decisive shot found the back of the net and gave council the edge and the win, 3-2. The Rebellion All Abilities team are known for their inclusive approach and passion for the game. Both teams demonstrated exceptional teamwork, determination, and community spirit.

9 hole stableford
Winner: Peter Walker 19.
Ball winners: Kim Arnold 17, Tony Kosch 16, Joe Marjanovic jnr 15.
NTPs - 13th: Garry Dickson.
Men’s 18 hole stableford
A Grade winner: Peter Challman 36. B Grade winner: Attila Kungl 32. C
Grade winner: Ian Wiedemann 32.
Ball winners: Neville Hogan 35, Gordon Paterson 34, Martin Van Rhee 32, Bernie Grealy 32, John Batchelor 30, Terry Docherty 30.
NTPs - 4th: Garry Butler, 8th: Pat Ernst, 13th: Andrew Walker.
WANGARATTA GOLF CLUB
WGC Competitions: Week ending Sunday, 24 August
Tuesday, 19 August
Women’s Singles Knock Out Final
Jacqui Hoggan defeated Barb Thomas 6/5
18 Hole Stableford Event
Winner: Karen Smith 36 points.
Runner Up: Janette Collier 35 points.

Ball Winners: Judith Brown, Liz
Madden, Carol Coghill.
NTPs - 2nd: Annie Wilson, 4th: Annie Wilson, 13th: Jacqui Hoggan.
Wednesday, 20 August
Men’s 18 Hole Stroke Event
Winner: Bill Dodd 64 nett. Runner Up: Brannan Duffy 67 nett.
Ball Winners: Henry McInnes, Ray Hutton, Matt Niedra, Matthew Walsh, Dean Campagna, Andy Raison, Mark Hall.
NTPs – 2nd: Bobby Hutchieson, 4th: Joseph Hargreaves, 7th: Stephen Smith, 13th: Geoffrey Webster, 16th: Chris Oates, 18th: Brannan Duffy.
9 Hole Stableford Event
Winner: Leonard Chandler 23 points.
Runner Up: John Waler 22 points.
Ball Winners: Graeme Arnold, Dan Madden, John Millman.
Thursday, 21 August
Women’s 18 Hole Stableford Event
Winners: Helen Tate 39 points.
Runners Up: Janette Collier 36 points.
NTPs - 18th: Janette Collier.
Saturday, 23 August
Men’s 18 Hole Stableford Event
A Grade Winner: Darren Burns 36 points. Runner Up: Jason McCoy 35 points C/B.
B Grade Winner: Adam Kupke 39 points. Runner Up: Peter Rundell 38 points.
C Grade Winner: Rodney Godde 40 points. Runners Up: Derek Hawksworth 38 points.
Ball Winners: Ian Rundell, Trevor Cooper, Cameron Nottle, Craig Donoghue, Russell Wallace, Bobby Hutchieson, Neville McCormick, Shane Watson, Michael Lynch.
NTPs – 2nd: Dennis Hill, 4th: Henry McInnes, 7th: Christopher Martens, 13th: Philip Winnell, 16th: Trevor Cooper, 18th: Matt Niedra.
RSL Voucher NTP 12th 2nd Shot: Peter Rundell. Birdies: KFC - Bobby Hutchieson, Dale Symes. Secret 6: Ian Rundell. Raffle Winner: Russell Wallace.
Women’s 18 Hole Stroke Event
Winner: Barbara Thomas 33 points. Runner Up: Sue McCall 29 points. NTPs – 2nd: Maggie Ray, 4th: Sue McCall.
Medley Competition: Sunday 24th August 2025
18 Hole Stableford event Winner: Cooper Clark 41 points. Runner Up: Luke Jones 36 points.
TARRA GOLF CLUB
The members played a two-person Ambrose on the par 3 course with the winners being Mark and Pete Nolan 59/7.5/51.5.
Angelo Garraffo and Ken Miller were runners up 60/7/63.
NTPs - 6th: Ken Miller, 13th: Mark Nolan, 17th: Peter Scoullar. Golf to be played on Saturday, 30 August will be a Stableford event for the Treasurer’s Trophy - all members, both men and ladies, are most welcome.
Starting times are 11.30am rollup for a 12pm start.
WANG CROQUET
Results for Monday, 25 August are as follows:
Janet Kelly and Maureen O’Keefe d Cheryle Beckley and Susan Fischer 7/2, Wendy Waddington and Terry Wilson d Christine Ireland and Bronwyn Townsend 7/2, Nathan Reynolds d Dawn Wind 7/1.
Last Saturday Janet Kelly and Joan Guttormsen scored hoops-in-one in the same game.
On Monday Wendy Waddington was involved in two excellent wins, one 7/2 and another 7/0.
On Wednesday, due to inclement weather, few members played, however, the ones that did enjoyed some competitive games. Play is at 1.00pm on Monday, Wednesday and Saturday.
Please arrive 15 minutes earlier to allow for a draw to be undertaken. The club is located at 46 Ryan Avenue, Wangaratta.
For further information please contact president Susan Fischer on 0417 217 009 or secretary Terry Wilson on 0417 326 739.



It was a nail-biter on Saturday as the Dragons under 12 girls took on top-four side Wodonga Maroon.
Wodonga controlled the first quarter, having most of the play, but the fire in the Dragons’ bellies came alive in the second.
The game opened right up, with end-to-end action and some brilliant passages of play.
Elsie Cunneen and Amelie Reilly were solid through the centre, feeding well to midfielders Eloise Summut, Pippa Reilly and Lily Barrett.
Making her debut from the under 10s, Matilda Bongers was very consistent in the half-back line, supported by Leriah Hallinan and Eliza Taylor, who worked hard to shut down Wodonga’s attacking moves.
Lilly Stevenson in goals cleared anything coming at goal - with the team’s combined efforts, the Dragons kept the score locked at 0-0 at half-time.
Early in the third quarter, Wodonga managed to sneak through the first goal, but the Dragons responded immediately, hitting back to level the scores again.
The final quarter was an absolute thriller – both teams gave everything as their energy drained, yet neither gave an inch.
Lilly Wood and Maddy Benton looked dangerous on the wings, keeping the pressure on Wodonga’s defence.
With just two minutes on the clock, the breakthrough came, a brilliant pass from the top of the circle found Maddy Benton, who slotted home the winning goal.
The final whistle blew with the Dragons claiming a 2-1 victory in what was easily their best game of the season.
DIVISION THREE WOMEN
The division three women delivered an outstanding performance

against the Orange Falcons in Wangaratta on Saturday, 23 August.
From the outset, the team demonstrated strong determination and commitment, maintaining intensity throughout the match.
Despite a challenging contest that included a few player cautions, the side remained composed and disciplined, ultimately securing a well-earned 2–0 victory.
Goals were scored by Emma Gall and Gemma Howe, whose efforts in attack proved decisive.
Overall, it was a cohesive and spirited team effort, with all players making valuable contributions to the result.
DIVISION THREE MEN
The SF Builders division three men’s team took on United on a warm Saturday afternoon.
Starting off strong with good ball movement, the Dragons were up to the challenge early on, with the midfield of Tim Longman, Simon Lipshut and Aaron Rhodes all

having significant contributions throughout the game.
The Dragons were unable to convert the few chances they had in attack, with the United defence holding them out time and again.
Despite the best efforts of goalie Michael McMurrie and the Dragons defensive line, United were able to make the most of their attacking efforts, scoring two goals from open field play and another from a short corner.
Final score was 3-0 to United.
This week the Dragons take on Wombats on Saturday, in a mustwin situation to play finals.
DIVISION TWO MEN
This week the division two men played their last home game for the season.
In warm conditions both teams played a very tight game for the first quarter.
In the second quarter, Corowa United made the most of the wing and from some fast passing scored
their first goal.
Some great defending from Alex Doig and the goalkeeper, Alex James kept the score at 2-0.
In the third quarter, the Dragons worked well as a team and put a lot of pressure on the goal and defence of Corowa, until Matt Vogel finally hit the ball into the back of the net.
The final quarter was once again great defence and attack from both teams, despite a lucky goal to Corowa to leave a final score on 3-1.
The Wangaratta Hockey Club’s under 12 boys faced a tough challenge over the weekend as they took on ladder-leaders Wodonga in an early afternoon match that tested their teamwork and tenacity.
Despite going down on the scoreboard, the young Dragons delivered a spirited performance, with goalkeeper Hugh Barden once again proving to be a standout with his sharp reflexes and fearless defence between the posts.
Backing him up in defence were Arlo Rivett, Ethan Parkinson, and Tyler Drage, who worked tirelessly under pressure, repelling repeated Wodonga attacks and giving their team every chance to stay in the contest.
Midfielders Oscar Reid, Lewis Henderson, and Miles Henderson fought hard through the centre, transitioning the ball effectively from defence to attack.
Their efforts were well supported by forwards Maddy Benton, Christopher Munzel, Pat Lipshut, and Max Wood, who all tracked back to assist in midfield and provided crucial link-up play.
However, despite their determination and work ethic, the Dragons struggled to break through Wodonga’s formidable defensive line, with several attacking runs being shut down before reaching the goal.
Coach and supporters alike praised the boys for their resilience and continued development against such strong opposition.
By JUNE UEBERGANG
When 21 players, all in ‘ping pong’ mood and mode arrived at the Oxley hall, it was on for young and old, with everyone playing with, or against everyone, in the non-stop action at the weekly social table tennis competition last Monday night.
Getting into business as the clock struck 7pm, when ‘high flying’ Debbie Brunken, and ‘slow off the mark’ June Uebergang paired up against ‘lively and lovely’ Katie Woodberry and ‘all-round goer’ Adrian Brunken, it was destined to be a serious but fun for all match from go to whoa.

Penetrating serves and returns, mixed with a few ‘oops’, kept everyone on their toes, as they chased down the long, short, wide and narrow placements in their efforts to hold the upper hand.
After Debbie and June ran away to a 12–3 lead, Kate and Adrian slowly but surely whittled back their deficit to force a tie-break, which one pair won with a table-edge skimmer.
A game that had it all was on display when Gary Coad and David Harris teamed up
to play Kate Cole and Clive Brooker, in a marathon test of physical and brawn power that seemingly would never end.
With Gary and Clive each capitalising on their height and reach, their respective partners David and Kate, were ready, willing, and able to undermine the short and narrow shots, with placement and precision.
After a game enjoyed by the players and spectators alike, the ‘long and the short of it’, was one pair won a thriller.
After each having already played many games, Neil Brock paired up with Manni Poulos to take on Richard
Morgan and Neil Spurgeon in a ‘wildfire’ game, flamed by ‘giving your all for the sake of the team.’

A game that saw so many potentially winning shots being driven on, and extinguished with lightning pace, power and purpose, resulting in sweat on the brows of the players as they delivered fire while refusing to ‘Neil down’ to the other.
No scores were recorded, but after hearty handshakes, it appeared Neil and his partner, hosed their opponents down.
After returning from extended overseas travels, Alison and Graham Stephens,
and Janet and Don Heath were full of vim and vigour when they faced each other in a game where noise and laughter drowned out the sound of the ball hitting the table.
Tearing to and from each side of the table, up close and way back, both pairs were forced to make an educated guess as to where every ball might land, in their valiant attempts to put the ‘writing on the board.’
Like the teachers ‘tortoise’, ‘keep driving towards your goals’ resulted in both pairs being named ‘Dux’ of a highclass act.
When Gary Coad and
Caleb Gillies paired up to test the waters of Hugh Spring and Olivia Strack, it was a foregone conclusion that it would be a game to be fought out long, deep, and hard.
With Gary and Hugh using their ‘power tools,’ and their respective partners, Caleb and Olivia, putting the finishing touches to each opportunity that arose, there was never a doubt the result would come down to the wire.
Long and penetrating serves and strokes, mixed with sneaky little cuts and slices were all utilised during the many long rallies that entertained those on the sidelines - when asked who
won, both pairs waved their bats high.
After returning to still call Australia home, Jason Mullins teamed up with Richard Morgan to play against David Harris and Debbie Brunken in a game where all players displayed their signature positive shot making styles as they toiled hard and fast for every point.
With all wearing their ‘racing plates,’ they covered more ground than the MCG in their determination to place themselves in the best position to strike the ball out of reach of their opponents. And although no-one could put a finger on who won, it was a thumbs up performance by all.
Recovering from a hard day’s night, everyone gathered around the supper table to discuss re-plays, and district news, and make reservations for their place at the tables next week.
Adults and secondary school students of all ages and abilities are welcome to join the group which meets at the Oxley hall every Monday night, beginning at 7pm. BYO bat, $2 entry, and a plate to share.
The North Eastern Baseball Association home and away season came to an end in the three senior grades on the weekend, while the under 15s and under 12s played their semi-finals.
In the under 15s, Rangers Orange played Wodonga Warriors.
Rangers were first to bat with their first two batters getting on base after losing their third batter - they brought in four runs and had a runner on base when their seventh batter was struck out for the second out, making five runs for the dig.
Warriors had only brought one runner in when they lost their third out in their turn at bat and neither side scored in their second turn at bat.
After losing their first batter in their turn at bat, Warriors scored five runs to lead by one run at the top of the fourth innings and time was running out.
Warriors won 6-5 on a countback to even digs when time was called.
Rangers Orange under 12s played Bears Green in their final, and it was Bears’ base running that was the highlight of the game.
After hitting the ball to the outfield then running at least two bases each hit, Bears would win 13–3 and go into this Sunday’s grand final as favourites.
In the other under 15s junior final, Rangers Black played Bears.
Black could only get one run in before they lost their third out in the first inning.
Rangers Black added another run in the second and stopped Bears, getting their first three batters out without


worrying the scorers in their next two innings.
Rangers batted well in the fourth, losing two outs but bringing in five runs for the dig and lead by one run with Bears yet to bat.
After losing their first at bat, the Bears rallied to bring in two more runs and left bases loaded when time and game was called.
Bears defeated Rangers 8-7.
In the senior games, Wangaratta Rangers Orange played Bears in the A and B grades on Targoora Park’s diamond one while Rangers Black played Porepunkah Panthers in the A and B grades in diamond two.
The B grade game saw Bears bat first and brought in two runs in their first turn at bat, while Rangers Orange struggled to get a safe hit and could only score one
run in their first dig.
Both teams were put out with just three batters facing the pitcher in the second innings.
Orange started to get bat to ball and were able to bring in four runs in the fifth and another three in the last and although they stopped Bears run rate in the fifth to get just one runner in that dig and did not score in the last.
Bears held on to win 11-8.
The A grade game was the usual game to see which team got the first break.
Neither side got a runner on base from a safe hit in the first two innings, then it was Bears who brought in their one and only run for the dig. It was not until their last turn at bat when Rangers Orange had any luck at all with their batting.
Although Bears were only

scoring one in each dig, apart from their fifth innings, they had done enough to win.
In the C grade, Wangaratta Rangers played Albury Bears on diamond three.
Bears started well bringing two runs in the first dig but left bases loaded when they lost their third out.
Rangers scored four runs in their turn at bat, and Bears added another run in the second, then Rangers broke away when they put on another seven runs to lead 11 runs to Bears’ three at the top of the third.
Bears left bases loaded but added no runs in their next at bat and Rangers finished the game with another five runs to win, 16-3.
In the other games on diamond two, Rangers Black played Porepunkah Panthers in A and B grade games.
Panthers batted first in B grade and batted through their line-up to score the maximum of seven runs in their first then got Rangers Black out, three up three down.
In the second innings, Rangers’ pitcher found the strike zone and they had Panthers side away with only five batters facing the pitcher and one run brought in.
Rangers got four runs in the second innings but still trailed by four runs at the top of the third.
strict Panthers to adding just three more runs and Rangers win 15-13.
The A grade game saw both sides have only five batters face the plate in their first innings with neither side being able to score.
Rangers scored six runs in their second dig, but it was not until their third turn at bat that Panthers got their first run on the board.
Panthers added another run in each of their next two at bats and Rangers started to bat safe hits, with some good base running added seven runs to their score in the third and another four in the fourth to hold a five-run lead at the top of the last innings.
A change of pitcher by Rangers Black helped to re-
Rangers Black added another five runs in the next innings, then kept Panthers down to bring in four in their turn at bat, with Rangers Black winning 11-5.
Both junior grades play in the grand final this Sunday at Targoora Park, Wangaratta.
In the under 15s, Wodonga Warriors play Albury Bears at 8.30am, before the under 12s Albury Bears play Porepunkah Panthers at 10.30am

By NATHAN DE VRIES
The Albury Wodonga Football Association finals series are here, and Wangaratta City FC still has three squads rolling into this weekend’s semi-finals.
Alongside the under 12 boys Black and under 16 boys teams, the division two men will continue in their quest for silverware.
The ressie Devils finished the home and away season third on the ladder, and sailed through the quarter finals with a 2-1 win over Wodonga Diamonds on Sunday.
They’ll come up against Albury United at Savoy Park on Saturday afternoon to continue their campaign.
The Devils were supposed to play Cobram Roar, who defeated United in their quarter final clash before Cobram’s senior and reserve men’s
teams were disqualified over fielding ineligible players.
United has held the wood over Wangaratta so far in the reserve men’s competition, taking wins 5-2 and 4-3 in the regular season, but Devils coach Vitaly Leschen said those past results were no indicator of how this weekend will play out.

“Personally I don’t read too much into those results,” he said.
“Momentum is key, and I think momentum is one of those things that goes up and down during a season.
“In a semi-final, if the boys aren’t up for a fight, we’ve got major issues, so they’ll be well and truly up for it.
“They [Albury United] are very good, they’ve got some ex-senior players who are very good up top – to be fair to them, they’re very good everywhere.

SO CLOSE: Frazer D’Agostino and the reserve Devils can book a place in the grand final with a win this weekend.
“It will be a very hard game, we need to work on a couple of things that have hurt us in the last few weeks,
and if we get those right, I have no doubt the boys have the quality to get it done.” Despite the challenge in
front of them, enthusiasm and spirits remain high at South Wangaratta ahead of the must-win showdown.
“The energy’s good, we had our biggest turnout of the team all year [on Tuesday],” Leschen said.
“The outcome on the weekend will probably be determined by our older boys who have been around, like Lachie Campbell, Joel Van Der Leeuw, Connor Delaney, Dave Mollison, Jaume Perez.
“Those boys need to shoulder a lot of the responsibility and get the young boys in the right headspace and across the line.
“It’ll be a very good game, we’ll see what happens.”
The reserve men take to the pitch in their semi-final at Savoy Park, Myrtleford, on Saturday, 30 August from 4pm. The under 16 boys are in action against Wodonga Heart from 9am on the Saturday, while the under 12 Black team take on Cobram Roar Yellow from 10.10am.
After a long and challenging year, it’s time to reap the rewards – win this weekend, and you’re in the grand final.

The top two finishers in the O&K’s A grade netball competition, Milawa and Whorouly, will square off again with the winner to sail straight through to the biggest day of the season, while the loser will seek redemption next week.
The Dees and Lions have enjoyed two absolute thrilling encounters in the regular season - a high-scoring 4545 draw in round five and a one-goal stunner in round 12 - and the stage is set for another classic.
Whorouly coach Kelly Cousins said her side was eager to get back on the court after watching from the sidelines last week.

“It was a great to have the week off and rest the legs before we go into finals, but af-
BY NATHAN DE VRIES ndevries@ nemedia.com.au
ter watching our other teams compete last week in the first round, the girls are all keen to hit the court,” she said.
“The team is buzzing with energy for finals, everyone’s pumped, training hard, and ready to get stuck into it.”
The two sides match up extremely well on paper.
Milawa are out and out the best offensive squad in the entire competition, with their two shooters, Emily Canny and Jami Ussher, in the top 10 goal shooters in A grade.
Only one other team has two in the top 10, and it paints the picture of a balanced and prolific attacking end.
Cousins said the clash of Whorouly’s defence and Milawa’s shooting would go a long way in deciding who gets the coveted ticket to the last day of the season.
“There are great matchups everywhere you look on the court,” she said.
“I think [Whorouly’s] Ebony Allen and [Milawa’s]
Jamie Ussher will be a great head-to-head match-up -
Jamie has such great court craft both in and out of the goal circle, but Eb is such a tenacious defender who never stops doing her job for the full 60 minutes.
campaign continues for Tarrawingee and Bonnie Doon, who will look to back up their elimination final win last weekend by bagging a semifinal triumph at the Whorouly Recreation Reserve.
The Bombers are in form at the right time of the year, able to explode early, with a host of young and upcoming stars through the midcourt, like Rising Star winner Anneliese Byrnes.
On the other side of the ledger is the defensive powerhouse, Whorouly.
The Lions are the number one defensive side in the competition, having only
They also boast a strong midcourt and defensive presence, with the likes of Ellie Hourigan, Micaela Larkings, and Fay Morgan medallist, Tahlia Matthews-Vincent.
Greta and Bright seniors to meet for the third time since 2024 GF, winner through once more
■ From back page
Greta takes on Bright from 2pm at North Wangaratta Recreation Reserve on Sunday, after the reserves clash between those same two clubs.
While a trip back to WJ Findlay Oval awaits the winner, the loser faces a challenging preliminary final clash, no matter who triumphs in the other semifinal on Sunday.

Milawa takes on Whorouly at the Whorouly Recreation Reserve, the same venue where the Lions broke their 18year long drought against the Demons in round 12.
With power forwards, gutsy defenders and sleek midfielders fronting up for both sides, and the prospect of extending their season by at least a week, expect some fireworks. The second semi-final will commence after the reserves match between Milawa and Bonnie Doon.
conceded 560 goals across the entire year – Milawa has conceded almost 100 more. Whorouly build their game from defence and counter punching, and finished with the highest percentage in the league thanks to reliable shooting from Abbey Forrest.
“It will be interesting to watch, but overall, we will look to stay consistent, control the tempo in attack and play our game.”
The Demons and Lions will face off at North Wangaratta Recreation Reserve on Saturday.
On Sunday, the finals
Tarrawingee have hands down the best shooter in the competition in Kaylee Allan, who took out the shooting award at the league presentation night by 190 goals ahead of the runner up, and their defensive end is controlled by multiple best and fairest winner Tig White.
No matter who you support, there’s going to be some high-octane netball across the weekend.



By JORDAN DUURSMA
Looking for a fun, inclusive sport that welcomes all ages and abilities?
The Wangaratta Rangers invites you to their Softball Come & Try Days, kicking off on Saturday, 30 August 2025, from 11.30am to 1pm at Targoora Park on Murdoch Rd.
Whether you’re new to softball or returning after a break, these sessions are a great way to learn the basics, meet the local team, and en-
joy a relaxed, supportive environment.
Softball coach Sean Warfe said the Come & Try Days are not just about sport, they’re about community, connection and having fun.
“No experience is necessary and there’s no pressure to commit,” he said.
“Families, individuals, and all age groups are all welcome, we’re trying to build up some of our teams and I would encourage anyone who is interested in softball or looking to
try something new this summer to come along.
“We can provide equipment, teach the fundamentals and see if you’re be interested in moving forward with us into the season.
“Just bring your enthusiasm and give it a go.”
These sessions also serve as a lead-up to the 2025–2026 softball season, which begins on Saturday, 11 October and runs through to March 2026.
It’s the perfect opportunity to see if softball is the right
fit for you before the season starts.
Additional Come & Try Days dates are available on 14 September at 11am, 17 September at 5pm and 21 September at 11am. For more information or to RSVP, visit https://www. wangarattarangers.com/ event-details/softball-cometry-days-2025-08-30-11-30. Don’t miss your chance to swing into something new with the Wangaratta Rangers.
After months of labouring ceaselessly, it all comes down to this – welcome to Ovens and Murray finals.
Billed as ‘the greatest show in country sports’ by the league, the next month of football and netball will pit the best of the best in the region against each other, with a premiership the uniting common goal.
Wangaratta Magpies will headline the senior elimination final clash against the dangerous North Albury at Martin Park on Sunday, with nothing less than their season on the line.
After a string of tough losses in the leadup to finals, the black and white shot back into form with a pair of tremendous wins, belting Wodonga Raiders by 10 goals and Albury by 79 points just last weekend.
Wangaratta coach Jason Heatley said the ‘Pies had been playing some impressive football, even in matches where they may not have banked the four points.
“We dropped three on the trot to three pretty good sides, and I think we played some good footy in there as well,” he said.
“We’re always wary that our system can stand up, we just had to do it for longer and get some run into a few guys’ legs, and it’s starting to take shape now.
“We’re probably going to go in healthier than we have been, which is great.”
Michael Bordignon will be available and eager for selection after he was rested for the Tigers match, with a handful of other first-string talent getting back to their best.
“Michael will absolutely play,” Heatley confirmed.
“There are a probably a couple we’ll wait on - we’ve got the luxury of the extra day, so we don’t have to crunch many numbers.
“It helps, you need them to be matchhardened to be able to get through.”
North Albury have been in terrific form throughout the year, and after their four-game winning streak ended by Myrtleford last weekend by a single

BY NATHAN DE VRIES ndevries@ nemedia.com.au
point, the Hoppers will be out to set the record straight and go deep into finals.
Last time they met the Magpies was back in round 15, where the Hoppers took a 23-point win at home.
“We think we match up pretty well,” Heatley said.
“They’re obviously incredibly well led by their playing coach [Tim Broomhead], he’s a terrific player.
“Young [Josh] Murphy and [Josh] Minogue down forward will obviously create some tension and headaches, they’ve got the Gardiner boys [Archer, Flynn and Foster] who are terrific players, they’ve got a backline that likes to move the footy.
“I think they throw lots of challenges, to be fair.
“That’s that roleplaying, that’s our expectation of our playing group - it’s nice we get the opportunity to have a look at finals adversity on Sunday.”
The Magpies take on North Albury this Sunday at Martin Park, Wodonga, in their elimination final from 2pm.
The match will almost certainly be watched by the Wangaratta Rovers, who flew through to the second week of finals thanks to their ladder-topping finish to the home and away match.
There’ll still be plenty of local football and netball sides in action across the weekend.
The Rovers reserves take on Myrtleford Saints in Saturday’s qualifying final at Bunton Park, North Albury, right after the Magpies thirds’ clash with Lavington.
It’s also a C grade netball derby final between Magpies and Rovers on Saturday, while the 17 and under Rovers take on the Saints.
On Sunday, the 17 and under Magpies netball squad will fight to keep their season alive when they take on Lavington from 10am.










Prelims this week at Wangaratta Showgrounds.
InSite Real Estate Wangaratta District Junior Football League Finals continue this Sunday at Wangaratta Showgrounds!
With a great mix of teams across all grades, enjoy a full day of footy action from our junior superstars ���� Head to the Wangaratta Showgrounds to see the talent on display and cheer on your local clubs! ��������Stay across all the latest results and fixtures via the PlayAFL App – your go-to for local footy scores and match info!
A huge congratulations to three clubs from the AFL NEB region who have secured funding in Round 4 of the AFL’s Telstra Footy Country Grants! ����
Through this round, more than $24,000 will be invested into these clubs to help deliver important projects and initiatives. Across all four rounds this year, over 15 local clubs have now shared in more than $45,000 of funding, supporting the growth of grassroots footy across our region! ����������
This is a massive win for our community, and we’re proud to have played a small role in supporting our clubs to achieve this outcome. ��������
���� Details for next year’s Telstra Footy Country Grants Program will be announced soon. We encourage clubs to start planning their projects now and get applications ready early. For support, reach out to us at chandan.kulkarni@aflneb.com.au

As part of the AFL NEB Apco Volunteer Recognition Program, we’re proud to celebrate Ruth Costenaro ����
A true all-rounder, Ruth helps with everything from game day and canteen duties to mowing lawns and serving as Secretary of the Whorouly Rec Reserve ��������. Her commitment and passion make her an invaluable part of the club community ����
Thanks to APCO, Ruth also receives a $50 voucher in recognition of her amazing contribution ������������



Cam Leathem for Wangaratta Dragons as they take on Wombats in a do-or-die final. Story on page
Bright
Last year’s grand final gladiators going toe-to-toe for a chance to return to the league’s biggest stage – we’re been blessed with the perfect finals script.
The third edition of the O&K senior grand final rematch will kick off the second week of what’s turning into a thrilling finals series, when Greta and Bright square off once again.
Booked in for the pristine turf of the North Wangaratta Recreation Reserve for Saturday, the outcome of the match will determine half of the grand final fixture, while the loser has to take the long way to the big dance. Honours have been shared between the two mighty outfits so far this season, with the Mountain Men nine points too good in round

BY NATHAN DE VRIES ndevries@
nemedia.com.au
one before the Blues pegged one back by 41 points in late June.
Greta coach Chris Dube said his side was prepared for an extremely difficult match-up with Bright.
“It’s obviously an exciting time, I’m sure there’s a healthy balance of nerves and excitement for all involved,” he said.
“We’re just really looking forward to the opportunity to play against a quality opposition in a game that really matters.
“Any time you get to the end of the year and have a week off, time heals a few sore bodies.
“No one’s 100 per cent at the end
of the year, that’s just the reality of the combative game of football, but we’ve maintained the work and we’ve done some extra sessions to make sure that we didn’t lift the foot off the gas.
“At the same time, not playing footy has rested and gotten a few extra pool sessions into some of the bodies.
“It’s shaping up to be a really big match.”
Big names and key players will feature for both teams across the park.
Bright’s forward line, led by centurion goal kicker Cooper Thomason but with the likes of Wayland Wales, Cy Banks and Luke Quirk capable of kicking bags, will be tough to stop, and Greta’s back six will need to be at their best.
At the other end of the ground is a Greta forward line and explosive midfield group with more avenues to goal than seems possible.
Clyde Baker medallist James McClounan has kicked 65 goals from the midfield, and when Frazer Judd (60 goals) and Cody Crawford (43) are added to the equation, it spells massive scoring potential.
However, Bright’s defensive structure is tough to penetrate when they’re in sync, having conceded a league-leading 877 points throughout the season – no other club has conceded less than 1000.
In the end, it will come down to who can be better for longer, and whichever team can be consistent
at their craft can start planning for the grand final.
“We’re under no illusion the opposition that we’re facing have been one of the form sides this year,” Dube said.
“I feel confident our boys are really up for the challenge, but good footy’s not going to get it done – we’re going to have to play our best to match it with Bright.
“Ultimately, ‘Quirky’ [Bright coach Michael Quirk] and I will be proud of the preparation and work we do, but when it’s all said and done, there’s going to be 42 guys out there who are going to determine who wins and loses.
“It’s a player’s game, and the team that goes up and does it for longer will get the chocolates.”
■ Continued page 32


