PROYECTO MERCADO ZONAL DEL DISTRITO DE LAREDO

Page 1

PROYECTO - MERCADO ZONAL DEL DISTRITO DE

U N I V E R S I D A D P R I V A D A A N T E N O R O R R E G O A R Q . C H R I S T I A N A R T E A G A A L C A N T A R A A R Q . S A N D R A K O B A T A A L V A
D ’ A N G E L O V A L E R A , A N A B E L É N . ( 1 0 0 ) G U E R R E R O G O N Z Á L E Z , E M I L I O . ( 1 0 0 ) I N T E G R A N T E S : D O C E N T E S : L A R E D O TESISI:TRABAJODEFÍNDECARRERAI

INTEGRANTES:

DOCENTES:

D ’ A N G E L O V A L E R A , A N A B E L É N . ( 1 0 0
O G
) G U E R R E R
O N Z Á L E Z , E M I L I O . ( 1 0 0 )
ARQ CHR STIAN ARTEAGA ALCANTARA ARQ SANDRA KOBATA ALVA

UBICACIÓN DE LAREDO

P A I S :

P E R Ú

D E P A R T A M E N T O : L A L I B E R T A D

Laredo es uno de los 11 distritos de la provincia de Trujillo (Región La Libertad), ubicada a una altitud de 89 m.s.n.m. Territorialmente, abarca una superficie de 335.4 km2, representando el 19% de la extensión de la provincia.

P R O V I N C I A :

T R U J I L L O

D I S T R I T O :

L A R E D O

Fuente:InstitutoGeográficoNacional-InfraestructuradeDatosGeoespacialesFundamentales

1
L Í M I T E S : N O R T E : S U R : E S T E : O E S T E :
Distrito de Huanchaco y Simbal Distrito de Salaverry Distrito de Poroto Distrito de Moche, Trujillo y El Porvenir

L E Y E N D A :

Vías Principales

Vías Secundarias

Laredo cuenta con vías principales que circulan por: Gr. San Ignacio, Av. Antenor Orrego, Av. Trujillo, Av. Julián Arce, Av. Luis Condemarín, Av. Los Laureles y Gr. La Merced.

Las vías secundarias pasan por: C. 7 de junio, C. Chiclayo, Prolong. Razuri, C. Zarumilla, C. Piura, Gr. San José, C. Los Jazmines, C. La Reforma

2

USO DE SUELO

En el mapa de los usos de Suelo del Distrito de Laredo encontramos que el uso de suelo predominante es el residencial , seguido del uso de suelo agrícola teniendo en cuenta que tiene mucho que ver con su principal actividad comercial.

Además encontramos otros tipos de suelo como lo son institucionales , recreacional y Comercial . Siendo este ultimo uno de los que mas escases cuenta .

En el mapa de zonificación de Laredo observamos que existe una predominancia de la residencial de densidad media , además de la existencia de zonas para gran industria y zonas de expansión urbana lo que deja a un futuro un futuro crecimiento morfológico del distrito . Fuente:MunicipalidadProvincialdeTrujillo:“AtlasAmbentaldelaCiudaddeTrujillo”-Año202

3
RESIDENCIAL SALUD RECREACIONAL COMERCIAL INDUSTRIAL AGRICOLA CEMENTERIO AGROURBANO VÍA
INSTITUCIONAL
VÍAPROYECTADA VÍASAFIRMADAS

VULNERABILIDAD

Laredo presenta vulnerabilidad y peligros tales como deslizamientos e inundaciones.

Dentro del análisis formal en el distrito encontramos un botadero informal (San Carlos) asimismo encontramos dos manantiales de agua que brotan de la tierra (Puquio Bello Horizonte y cerro blanco).

Este distrito también presenta 4 bosques (Bosque Cerro Blanci, Santa Victoria, Quirihuac y Algarrobos) y dos lagunas (laguna de Conache y lagunillas de Galindo).

La contaminación por parte de las fábricas azucareras y de aglomerados del distrito de Laredo perjudica el ambiente

4

ASPECTO AMBIENTAL

TEMPERATURA

.

Temporada Templada:

Duración: 2.5 meses, del 18 de enero al 3 de abril.

Temperatura Máxima Promedio Diaria: Más de 26°C.

Mes más cálido: Febrero.

Temperatura Máxima Promedio: 26°C.

Temperatura Mínima Promedio: 21°C.

Temporada Fresca:

Duración: 4.0 meses, del 9 de julio al 8 de noviembre.

Temperatura Máxima Promedio Diaria: Menos de 23°C.

Mes más frío: Septiembre.

Temperatura Máxima Promedio: 22°C.

Temperatura Mínima Promedio: 17°C.

ALGUNOS DE ESTOS BENEFICIOS DE LA TEMPERATURA INCLUYEN:

Actividades al aire libre: Los residentes y visitantes pueden participar en una amplia gama de actividades al aire libre, como senderismo, ciclismo y deportes, lo que promueve un estilo de vida activo y saludable.

Agricultura: Permite una variedad de cultivos durante diferentes estaciones del año. Esto puede impulsar la producción agrícola local y apoyar a los agricultores de la región.

Calidad de vida: contribuyen a una mayor calidad de vida para los residentes, facilitan actividades al aire libre, promueven el bienestar físico y mental, y pueden reducir la necesidad de gastos en calefacción o refrigeración extremas.

5

ASPECTO AMBIENTAL

ASOLAMIENTO

En Laredo, la variación en la duración del día a lo largo del año es mínima, con una diferencia de solo 35 minutos desde las 12 horas de luz natural. En 2024, el día más corto se registra el 20 de junio, con 11 horas y 39 minutos de luz natural. Por otro lado, el día más largo ocurre el 21 de diciembre, con 12 horas y 36 minutos de luz natural. Esta consistencia en la duración del día a lo largo del año proporciona estabilidad en los patrones de luz y oscuridad en la región.

Durante el año 2024 en Laredo, se observaron los siguientes horarios para el amanecer y el atardecer:

La salida del sol más temprana fue a las 05:45 el 14 de noviembre.

La salida del sol más tardía fue a las 06:31 el 15 de julio, con una diferencia de 45 minutos.

La puesta del sol más temprana ocurrió a las 18:03 el 25 de mayo.

La puesta del sol más tardía fue a las 18:42 el 28 de enero, con una diferencia de 39 minutos.

Estos datos resaltan la variación estacional en los horarios del amanecer y el atardecer a lo largo del año en Laredo.

6

ASPECTO AMBIENTAL

TOPOGRAFIA CLIMA

La topografía de Laredo, Trujillo, podría describirse como predominantemente llana, con algunas ligeras elevaciones y ondulaciones. Laredo es un distrito ubicado en la provincia de Trujillo, en la región La Libertad, Perú.

La mayor parte del terreno en esta área es relativamente plano, lo que lo hace adecuado para la agricultura y otros fines urbanos. Sin embargo, como en muchas áreas costeras, puede haber algunas áreas más elevadas o colinas dispersas, especialmente hacia el interior.

EnLaredo,losveranossoncortos,calurosos,húmedosynublados;los inviernossonlargos,cómodosyparcialmentenubladosyestásecodurante todoelaño.Duranteeltranscursodelaño,latemperaturageneralmente varíade17°Ca26°Cyraravezbajaamenosde16°Cosubeamásde29°C.

ORIENTACION

Laorientacióndelmercado señalahaciaelnoreste,posición enlaquetendríaquebrindara losespaciosdeluznaturaly ventilación;teniendoencuenta lashorasdelsolylaorientación delosvientos.Aspectoqueno aprovechaensutotalidaddebido alosespacioscerrados generadosporeláreaprivadadel mercadoyladeficiente planificaciónydiseño.

7

POBLACIÓN: SEGÚN CENSO INEI 2017:

ESTRUCTURA POBLACIONAL :

En el distrito de Laredo ex mayor concentración del gr referido a población infa (entre 0 y 14 años) con el 28 seguido de jóvenes (entre 15 a años) con el 27.7%, luego jóvenes adultos (entre 30 a años) con el 19.7%, seguido po grupo de población adulta 45 a 59 años) con el 14.1% finalmente el grupo de perso adultas mayores (de 60 año más) con el 10.5%.

MORFOLOGIA URBANA :

La zona de estudio presenta una trama irregular, debido a la evolución de la ciudad, en donde el cual se observa que presenta cruces, calles ciegas , en el cual se encuentran espacios residuales y cruces ciegos.

9

ALTURA DE EDIFICACIÓN

Laredo cuenta con una altura de edificación variada, ya que gran parte de las edificaciones son de un solo piso o nivel con un total de 45 % de las edificaciones el sector, seguido de ello, con 38% se encuentran viviendas de 2 pisos, con 15% se encuentran edificaciones de 3 pisos y por ultimo con 2% se encuentran viviendas de 4 pisos.

10
ALTURADEEDIFICACIÓN ITEM LOTES % 1p 2p 3p 4p 5p 6p+ 424 356 144 16 3 0 45 38 15 2 0 0 TOTAL 943 100

ESTADO DE CONSTRUCCIÓN

En el distrito laredino, el estado de conservación de las edificaciones varían, ya que con un 14% e las edificaciones se encuentran estado optimo o bueno, el 57% de las edificaciones se encuentran estado regular, mientras que el 24% se encuentran estado malo y el 2% en estado deplorable o muy malo.

ESTADO DE CONSTRUCCIÓN ITEM LOTES % BUENO REGULAR MALO MUYMALO 143 562 234 49 14 57 24 2
11

MATERIAL DE CONSTRUCCIÓN

La materialidad en el distrito de Laredo mas de la mitad de las edificaciones están construidas con ladrillo y cemento, teniendo un 76.9% , mientras que el 14.7% son edificaciones construidas de adobe, y el 8.2% esta construido de material mixto

MATERIALESDECONSTRUCCIÓN ITEM LOTES % LADRILLO-CEMENTO ADOBE 751 144 76.9 14.7
12

ACTIVIDADES QUE MÁS REALIZAN

En Laredo, las actividades económicas más comunes están dominadas por microempresas que operan bajo el régimen tributario RUS (Régimen Único Simplificado). Este régimen está diseñado para simplificar los procesos fiscales para pequeñas empresas, lo que lo hace popular entre los emprendedores y empresarios de menor escala. En total, hay 397 contribuyentes que operan bajo este régimen en Laredo.

Entre estas microempresas, destacan principalmente aquellas relacionadas con la industria hotelera y de restaurantes, con un total de 158 establecimientos. Esto sugiere que el sector de servicios de hospitalidad es uno de los más prominentes en la economía local de Laredo.

En segundo lugar, se encuentran los negocios dedicados al comercio, con 149 establecimientos. Esto indica que el comercio minorista y mayorista también desempeña un papel significativo en la actividad económica de la región.

REGIMEN UNICO SIMPLIFICADO

REGIMEN MYPE TRIBUTARIO

REGIMEN ESPECIAL DE RENTA

13

EQUIPAMIENTO: COMERCIO

ACTIVIDADES

ECONOMICAS

:

El Distrito de Laredo presenta una extensa zona agrícola destinada a los cultivos industriales (caña de azúcar) y maíz amarillo duro, y cultivos menores de pan llevar y frutícolas En el ámbito urbano tiene poca presencia el sistema de arborización.

RADIO DE INFLUENCIA Y PREOYECCION

PROYECCIÓN POBLACIÓN:

RADIO DE INFLUENCIA Y PROYECCION

Las principales actividades económicas del distrito, son la agricultura ,destacando dentro de este rubro el cultivo de la caña de azúcar, la industria manufacturera (industria azucarera), el comercio y transporte. r=1200m

Siendo un mercado minorista zonal el rango poblacional logra cubrir la población proyectada, y el radio de influencia consigue alcanzar a todo el sector.

Año 2007 2017 2027 2037 2047 HAB 32,825 hab 37206 hab 42168 hab 47792 hab 54166 hab TP( %) 1.26 1.26 1.26 1.26 1.26
D
E M A N D A
14

ÁRBOL DE PROBLEMAS

CONSECUENCIAS

LA ESCAZA ENTRADA DEL SOL Y V ENTOS PRODUCE LA ACUMULACION DE OLORES Y BACTERIAS QUE DAÑA AL MERCADO

OLORES Y BATERIAS EN ZONAS HUMEDAS

IMPACTO NEGATIVO EN LA SALUD

ESPACIOS INSEGUROS

ESCACEZ DE CONEX ONES ENTRE SEVIC OS

ACCESIBILIDAD LIMITADA A SERVICIOS

PRODUCE DIFICULTADES PARA COMPRAR EN ESPACIOS REDUCIDOS

LIMITACIÓN DE ESPACIOS

OBTACUL ZA LA REVITALIZAC ON ZONAL MALA IMAGEN SOCIAL-CONTEXTUAL

DESARROLLO URBANO ESTANCADO

DÉFICIT DE INSFRAESTRUCTURA DEL SECTOR PÚBLICO Y PRIVADO EN EL

MERCADO DE ABASTOS DEL DISTRITO DE LAREDO

MALA VENTILACION E ILUMINACION

DISEÑO MAL PLANTEADO PARA VENT LACION Y ASOLEAMIENTO

GESTION DE RESIDUOS NADECUADA UBICACION DE BASUREROS

DETERIORACION DEL MATERIAL

IMPERMEABILIDAD URBANA

INFRAESTRUCTURAS CON MATERIALES NO REGLAMENTADOS

INEFICIENC A ACTIVIDAD NTERNA CON LA CIUDAD

CIRCULACIÓNES Y ACCESOS NO ADECUADOS FALTA DE EXPROPIACION

CAUSAS

INCUMPLIMIENTO DE NORMATIVA

INVAC ONES
LIMITAN
ALTERACIÓN EN EL PERFIL URBANO ANOMAL AS EN EL CONTEXTO
QUE
AL MERCADO
15

TERRENO

DATOSDELTERRENOMERCADOPÚBLICO

PERIMETRO= 206.26m

ÁREA=2640m2

DATOSDELTERRENOMERCADOPRIVADO

PERIMETRO= 367.86m

ÁREA=5110.62m2

COMERCIANTES:322

PROMOTOR:

PÚBLICO: Municipalidad Distrital de Laredo

PRIVADO: Asociación de comerciantes del Mercado del distrito de Laredo

LEYENDA DE ACCESOS:

ACCESO AL MERCADO (PÚBLICO) ACCESO AL MERCADO (PRIVADO)

16

VIAS DE ACCESO

TRANSPORTE

LEYENDA: C. Nazaret C. La Reforma C. Los Jazmines
------- TAXIS ------ COMBIS ------MOTO TAXIS 17
C. San Martín TIPOS DE

MODALIDADES (PÚBLICA)

MODALIDAD DE GESTIÓN

GESTIONADO POR:

Personal del departamento de comercialización y mercado de la Municipalidad Distrital de Laredo.

MODALIDAD:

Pública Municipal, pero debido a invasiones alrededor del mercado, esa parte pasaría a ser privada.

TIPO DE ACTIVIDAD:

IMPUESTOS (SOLO POR LA PARTE GESTIONADA POR LA MUNICIPALIDAD)

SEGÚN PDU- CUADRO DE INDICE DE USO:

La ubicación del equipamiento corresponde a la zonificación (RDM).

BENEFICIARIOS E INVOLUCRADOS

INVOLUCRADOS

Funcionarios municipales

Departamento de planificaci urbana

Departamento de finanzas

Departamento de obras públicas

BENEFICIADOS

Residentes locales

Comerciantes locales

Productores locales

18

MODALIDADES (PÚBLICA)

En cuanto a la construcción de un mercado de abastos, proporciona a los ciudadanos un espacio adecuado y seguro para la compra y venta de productos alimenticios y otros bienes básicos.

Planificación y diseño: Esto implica la identificación de un lugar adecuado para la construcción del mercado, teniendo en cuenta factores como accesibilidad, demanda local, espacio disponible y requisitos de infraestructura.

Financiamiento y gestión de recursos: La municipalidad debe asegurar los recursos financieros necesarios para la construcción del mercado, ya sea a través de presupuestos municipales, fondos gubernamentales o la búsqueda de financiamiento externo.

Normativas y permisos: La construcción de un mercado de abastos está sujeta a diversas regulaciones y normativas municipales, estatales y nacionales. La municipalidad debe asegurarse de cumplir con todos los requisitos legales y obtener los permisos necesarios antes de iniciar la construcción del mercado.

Promoción y difusión: Una vez construido, el mercado de abastos debe ser promovido y difundido entre la comunidad local para asegurar su éxito y sostenibilidad a largo plazo

La municipal dad debe demostrar un compromiso genuino con las neces dades y deseos de a comunidad ocal asegurándose de que e mercado de abastos satisfaga las demandas de os residentes y comerc antes oca es

Debe haber transparencia en e proceso de p anificación y construcción de mercado y se debe fomentar la participac ón activa de los d versos grupos de interés, nc u dos los comerciantes agr cu tores y res dentes loca es

CARACTERISTICAS

La mun c pa idad puede promover prácticas de comercio justo y equ tativo dentro del mercado, asegurando que los agr cultores y productores reciban prec os justos por sus productos y que se evite la exp otac ón abora y la competenc a des ea .

El mercado de abastos debe considerarse como un motor para el desarrol o económ co local promov endo la creación de empleo, e forta ec miento de a cadena de sum nistro loca y a generac ón de ingresos para os comerc antes y productores loca es

La municipal dad debe considerar la sosten b l dad ambienta , económ ca y soc al en todas las etapas del proyecto desde a se ección de s t o hasta e diseño y a gestión operat va del mercado

Es fundamenta que a mun c pa idad gestione eficientemente os recursos f nanc eros, humanos y materia es as gnados para la construcc ón del mercado, asegurando que se uti icen de manera óptima y que se minim cen los desperdicios y os costos nnecesarios

Residentes

La mun c pa idad debe garant zar que a construcc ón de mercado cump a con todas las normativas y regu aciones loca es, estata es y naciona es re ac onadas con la p anificación urbana, a seguridad estructural y la h giene al mentaria

locales: Comerciantes locales: Productores locales:

O B J E T I V O
A L C A N C E
P O B L A C I Ó N O B J E T I V A
19

OBRAS POR IMPUESTOS

¿EN QUÉ CONSISTE EL MECANISMO DE OBRAS POR IMPUESTOS?

Es una modalidad de ejecución que permite a una empresa privada financiar, ejecutar y/o proponer proyectos de inversión y cuyo monto invertido lo usa/aplica contra el pago a cuenta y regularización de su impuesto a la renta, es decir, que en lugar de pagar en efectivo, el impuesto se paga a través de un certificado valorado, denominado CIPRL o CIPGN, con el que se reconoce el monto de inversión ejecutado por la empresa.

Así, la empresa privada financia la obra hoy con cargo al pago y/o regularización del impuesto a la renta que deberá pagar el año fiscal siguiente a la SUNAT hasta por un 50% Por su parte, la entidad pública se financia hoy y empiezan a pagar al año siguiente de terminada la obra con cargo al 30% de las transferencias de sus recursos del canon, sobrecanon, regalías, rentas de aduana y participaciones para el caso de gobiernos subnacionales y universidades públicas.

ETAPAS DEL PROCESO DE OBRAS POR IMPUESTOS:

FASE I: PRIORIZACIÓN

FASE II: ACTOS PREVIOS

El mecanismo de Obras por Impuestos es una oportunidad para que el sector público y el sector privado trabajen de la mano para reducir la brecha de infraestructura existente en el país. Mediante este mecanismo, las empresas privadas adelantan el pago de su impuesto a la renta para financiar y ejecutar directamente, de forma rápida y eficiente, proyectos de inversión pública que los gobiernos subnacionales y las entidades del gobierno nacional priorizan.

FASE III: PROCESO DE SECCIÓN

FASE IV: EJECUCIÓN

ART 4. EJECUCIÓN DE INVERSIONES DE LAS ENTIDADES DEL GOBIERNO NACIONAL INVERSIÓN PÚBLICA

Sistema Nacional de Programación Multianual y Gestión de Inversiones

Es un sistema administrativo del Estado que tiene como finalidad orientar el uso de los recursos públicos destinados a la inversión para la efectiva prestación de servicios y la provisión de la infraestructura necesaria para el desarrollo del país.

20

MODALIDADES (PRIVADA)

MODALIDAD DE GESTIÓN

GESTIONADO POR:

Asociación de comerciantes del Mercado del distrito de Laredo. Existiendo dos directivas a cargo de la parte privada. Los títulos de propiedad pertenecen a los comerciantes que hayan reclamado el titulo de terreno de sus puestos.

MODALIDAD:

Privada por invasión de terrenos y asentada por el transcurso del tiempo

TIPO DE ACTIVIDAD:

ACTIVOS (REALIZACIÓN DE ACTIVIDADES PARA RECAUDACIÓN DE FONDOS Y APOYO MONETARIO PROPIO)

SEGÚN PDU- CUADRO DE INDICE DE USO:

La ubicación del equipamiento corresponde a la zonificación (RDM).

BENEFICIARIOS E INVOLUCRADOS

INVOLUCRADOS

Directiva de la Asociación

Tesorería de la Asociación

Logística de la Asociación

BENEFICIADOS

Residentes locales

Comerciantes locales

Productores locales

21

SOCIEDAD ENTRE PRIVADOS

Una sociedad entre privados, también conocida como alianza o asociación estratégica, es una forma de colaboración en la que dos o más empresas privadas se unen para lograr objetivos comunes. Esta colaboración puede adoptar diversas formas y estructuras legales, dependiendo de los objetivos y la naturaleza de la asociación.

1 ANÁLISIS DE MERCADO:

Realiza un estudio exhaustivo del mercado zonal en el que planeas operar. Examina las tendencias, la competencia, las necesidades del cliente y las oportunidades disponibles en esa área específica.

2 IDENTIFICACIÓN DE SOCIOS POTENCIALES:

Identifica socios privados que operen en el mismo mercado zonal y que complementen tus capacidades o productos/servicios, con objetivos y valores similares a los tuyos, lo que facilitará la colaboración.

3 DEFINICIÓN DE OBJETIVOS Y ALCANCE:

Establece claramente los objetivos que deseas lograr mediante la sociedad entre empresas privadas en el mercado zonal.

4 DESARROLLO DE UN PLAN DE NEGOCIOS:

Elabora un plan de negocios detallado que describa la estructura de la sociedad, los roles y responsabilidades de cada socio.

5 IMPLEMENTACIÓN Y OPERACIÓN:

Una vez que se hayan acordado los términos y se haya firmado el acuerdo, comienza la implementación de la sociedad Establece procesos operativos eficientes y sistemas de seguimiento para garantizar que se cumplan los objetivos establecidos

SOCIEDAD CON EL MERCADO DE LAREDO

Empresa cliente

PUESTOS DEL MERCADO GESTIONADOS POR LA ASOCIACIÓN DE COMERCIANTES DEL MERCADO DEL DISTRITO DE LAREDO Ante cualquier construcción o remodelación de los puestos (área privada /invadida) del mercado, se realiza una sociedad entre privados, esto es que los mismos vendedores /dueños de los puestos contratan a una empresa privada para realizar dicho trabajo, teniendo en cuenta una sociedad entre empresa (constructora) y cliente.

22

NORMA SEGÚN RNE

ART. 13.- MATERIALES Y ACABADOS:

ART. 11.- VANOS:

11.1. Las dimensiones de los vanos para la instalación de puertas de acceso, comunicación y salida deben calcularse según el uso de los ambientes a los que dan acceso y al tipo de usuario que las emplea, cumpliendo los siguientes requisitos:

a) Altura mínima debe ser de 2.10m

b) Independendientemente de su calculo, los anchos mínimos de los vanos en que se instalen puertas son:

ART. 12.- PASAJES DE CIRCULACIÓN:

13.1. El material de acabado de los pisos exteriores debe ser antideslizante. Los pisos en mercados de abastos y supermercados son de material impermeable, antideslizante y liso, fáciles de limpiar y se les da pendiente de por lo menos 1.5% hacia las canaletas y suministros de desagüe, de existir.

13.2. Los puestos de comercialización en los mercados de abastos se construyen de material no combustible, las superficies que estén en contacto directo con el alimento deben ser fáciles de limpiar y desinfectar.

13.3. El área de elaboración de alimentos debe ser con pisos de material no absorbente, resistentes, antideslizantes, no atacables por los productos empleados en su limpieza y de materiales que permitan su mantenimiento en adecuadas condiciones de higiene; así como, deben ser fáciles de limpiar y con una inclinación suficiente hacia los sumideros que permita la evacuación de agua y otros líquidos.

13.4.Lasparedesdebentenersuperficieslisas,noabsorbentes yrevestidasdematerialopinturaquepermitanserlavadossin deterioro. Los techos deben ser construidos de forma que no acumulenpolvonivaporesdecondensación,defácillimpieza y siempre deben estar en condiciones que eviten contaminaciónalosproductos.

23

NORMA (COMPARACIÓN)

NORMATIVA VS MERCADO ACTUAL

NORMATIVA

ART. 11.- VANOS:

11 1 Las d mensiones de os vanos para a instalación de puertas de acceso, comunicac ón y sa ida deben calcularse según el uso de los ambientes a os que dan acceso y al t po de usuario que as emplea, cumpliendo los siguientes requisitos:

a) Altura mínima debe ser de 2.10m

MERCADO ACTUAL

PARTE PUBLICA:

Los accesos del mercado que esta gestionada por la municipalidad son los adecuados, teniendo los anchos necesarios (2.90m), para abarcar a la gran cantidad de comerciantes y consumidores que llegan y circulan por esos espacios.

b) Independend entemente de su ca cu o, os anchos mínimos de los vanos en que se instalen puertas son:

ART. 12.- PASAJES DE C RCULACIÓN:

ART 13.- MATERIALES Y ACABADOS:

13.1. El mater al de acabado de os pisos exteriores debe ser antidesl zante Los pisos en mercados de abastos y supermercados son de material impermeab e antides izante y iso, fáciles de limpiar y se les da pendiente de por o menos 1 5% hac a las canaletas y suministros de desagüe, de existir

13.2. Los puestos de comercialización en los mercados de abastos se construyen de material no combustible las superficies que estén en contacto d recto con el a imento deben ser fáci es de l mpiar y desinfectar

13.3. El área de elaboración de al mentos debe ser con pisos de material no absorbente res stentes, ant deslizantes, no atacab es por los productos emp eados en su limpieza y de materia es que perm tan su mantenimiento en adecuadas condiciones de higiene; así como, deben ser fáciles de l mpiar y con una nclinac ón suficiente hacia los sumideros que permita la evacuación de agua y otros íquidos

13.4. Las paredes deben tener superficies lisas no absorbentes y revestidas de material o pintura que permitan ser avadossndeterioro Lostechosdebenserconstrudosdeformaquenoacumuenpovon vaporesdecondensación, defácillimpiezaysiempredebenestarencondicionesqueevtencontaminaciónalosproductos

Los espacios de circulación también cumplen con la normativa, teniendo un promedio de entre 2 - 3.5 m para estos espacios, importantes para la fluidez y transito de las personas.

Con respecto a los materiales, muchos de los puestos están elaborados con materiales nobles como el concreto, cerámicas, estructuras para cubiertas y vigas de acero, tejas y puertas enrollables de hierro.

PARTE PRIVADA:

Debido a las invasiones y a una falta de planificación; los accesos de la parte privada del mercado son limitaciones e improvisaciones que dirigió la directiva de comerciantes a cargo de esta zona, la cual no cuenta con un acceso principal, todas los acceso de esta área son secundarios las cuales presentan un mínimo de 1m de ancho.

Así mismo, las circulaciones de esta zona no son las optimas, cuentan con pasajes de 1m - 1 5m de ancho, las cuales dificultan el paso del consumidor y las compras de este mismo día a día

En los materiales existe una variedad debido a que una parte de comerciantes procura llevar a cabo la normativa por temas legales y salubre, pero otra gran parte no, por lo que los puestos están hechos con plásticos, telas, palos de madera, cartones, triplay, fierros oxidados, ladrillos, entre otros

CUMPLE
NO
CUMPLE
2 5m 1 2m 24

PLAN DE MEJORAMIENTO

AL MERCADO MODELO DEL DISTRITO DE LAREDO

PROYECTO : MEJORAMIENTO Y AMPLIACION DEL SERVICIO DE ACCESIBILIDAD A LA ADQUISICIÓN DE PRODUCTOS DE PRIMERA NECESIDAD EN EL MERCADO DE LAREDO, DISTRITO DE LAREDO - PROVINCIA DE TRUJILLODEPARTAMENTO DE LA LIBERTAD

SITUACIÓN: Viable

ESTADO: Activo

COSTO: 6.910.000,00

NIVEL DE GOBIERNO: GL

MARCO: PI

DEPARTAMENTO: La Libertad

DATOS:

PROVINCIA: Trujillo

DISTRITO: Laredo

SECTOR: Gobiernos Locales

PLIEGO: Municipalidad Distrital de Laredo

FECHA DE REGISTRO: 29/12/2023

Proyecto dirigido a la ampliación y mejora del actual mercado

Modelo de Laredo, cuya finalidad es la accesibilidad de productos de primera necesidad por parte de los habitantes del distrito.

25

DIAGNOSTICO SITUACIONAL

CARACTERIZACIÓN DE LA PROBLEMÁTICA

LEYENDA

PÚBLICO ( TENENCIA DE LA MUNICIPALIDAD)

PRIVADA( INVASIONES)

PRIVADA( RESIDENCIAL)

INGRESOS (PÚBLICO)

INGRESOS (PRIVADA / INVASIONES)

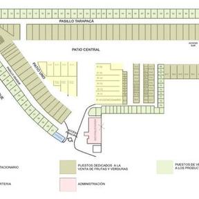
Como se aprecia en el mapa, la parte del mercado esta divida en una zona púbica gestionada por la municipalidad de Laredo; y la parte que lo rodea es la zona privada generada por invasiones que se fueron alojando con el transcurso del tiempo y funcionan como puestos comerciales aprovechando la ubicación del mercado minorista.

Debido a ello, el mantenimiento de esta zona privada no es la adecuada, se pueden observar un total descuido e ignorancia de este aspecto, recibiendo como resultado una infraestructura deficiente que afecta de manera salubre a la comunidad. Cabe resaltar que debido a estas invasiones también existen residencias de los comerciantes de esta parte privada.

26

DIAGNOSTICO SITUACIONAL

CARACTERIZACIÓN DE LA PROBLEMÁTICA

La porción del mercado que esta gestionada por la Municipalidad de Laredo se encuentra en mejores condiciones y con una mejor planificación, contando con una organización y orden mejor planteada y un mantenimiento más adecuado que satisface a las necesidades de los usuarios y que no perjudican en su estadía de transitar estos espacios, debido a que presentan anchos de circulación vastos para grandes masas de personas.

INGRESOS

LEYENDA PUESTOS DEL MERCADO
27

DIAGNOSTICO SITUACIONAL

ASOLEAMIENTO

El paso del sol es limitado, debido a que solo ingresa por las aberturas generadas de la elevación de la cubierta, por ello no permite eliminar los olores y bacterias producidas en el área de carnes húmedas ubicadas cerca a las oficinas del mercado, por ello se nota la problemática establecida que se ha de solucionar.

LEYENDA INGRESO DEL SOL DEL MERCADO
28
ÁREA HUMEDA DEL MERCADO

DIAGNOSTICO SITUACIONAL

CARACTERIZACIÓN DE LA PROBLEMÁTICA

CONSOLIDACIÓN DE INFRAESTRUCTURA PÚBLICA

REALIDAD SITUACIONAL

La materialidad del mercado que esta gestionada por la municipalidad de laredo, esta conformada por materiales nobles como el concreto para muros y suelos, tejas en la cubierta, metal para las puertas enrollables, cerámica en los muros, acero en la estructura de la cubierta.

CONCRETO

LEYENDA

TEJAS

ESTRUCTURA DE ACERO

PISO Y MUROS DE CONCRETO CON CERÁMICA

Cabe resaltar que esta parte del mercado al estar rodeada de una parte privada, dificulta el ingreso de vientos y sol, por lo que la opción de solución que opto la municipalidad fue la elevación de la cubierta generada por las estructuras y de esta manera brindar el paso del aire e iluminación en todo el mercado.

29
TEJAS METAL ACERO

DIAGNOSTICO SITUACIONAL

CARACTERIZACIÓN DE LA PROBLEMÁTICA

CONSOLIDACIÓN DE INFRAESTRUCTURA PRIVADA

REALIDAD SITUACIONAL

La infraestructura del mercado que pertenece a la gestión privada es muy precaria y escaza, utilizando materiales improvisados como plástico, madera en las estructuras, aluminio para las cubiertas y uso de calaminas; pero con el transcurso del tiempo algunos puestos fueron mejorando la materialidad optando por el concreto y estructuras metálicas. A pesar de ser ilegal la situación de esos puestos, algunos se asentaron de manera que los mismos son viviendas, en poco porcentaje pero que de todas formas es una problemática para el mercado municipal debido a que limita los accesos y los ingresos

ESTRUCTURA DE METAL

PLASTICO MADERA ALUMINIO CONCRETO LEYENDA CALAMINAS PLASTICO
30

PLANO DE CONSOLIDACIÓN

ÁREA PÚBLICA Y PRIVADA

MATERIALES USADOS

MERCADO (PÚBLICO)

Concreto

Acero

Tejas

Metal

MERCADO (PRIVADO - ÁREA CONSOLIDADA)

Concreto

Acero

Calamina

Metal

Cartón

MERCADO (PRIVADO - NO CONSOLIDADA)

Plástico

Madera

Fierros

Calamina

PRIVADO RESIDENCIAL

Concreto

Vidrio

LEYENDA DE MATERIALIDAD

TECHADO DE CONCRETO

NO TECHADO Y/O VACIO

LEYENDA DE N° DE PISOS

EDIFICIO DE UN SOLO NIVEL

EDIFICIO DE DOS NIVELES

EDIFICIO DE TRES NIVELES

EDIFICIO DE CUATRO NIVELES

LEYENDA DE CONSOLIDACION OTROS MATERIALES (TRIPLAY, FIERRO, MADERA, PLASTICO)

ÁREAS MAYORMENTE CONSOLIDADAS

ÁREAS MENORMENTE CONSOLIDADAS

31

PERMEABILIDAD URBANA

LEYENDA

ACCESO 01 ACCESO 02 ÁREAS DE RECREACIÓN

La permeabilidad urbana del mercado se expresa explícitamente más en la circulación que llega desde el acceso ubicada en la calle Jazmines hasta el centro deportivo ubicado cerca a la calle la Reforma. (acceso 02)

En cambio, los circulaciones que brinda las calles para los parques y centro deportivo de la calle los jazmines, prefieren no pasar por el mercado para poder llevar a la plaza que esta ubicada cerca al mercada. (acceso 01)

PERMEABILIDAD URBANA EN EL MERCADO DE LAREDO

ESTADO ACTUAL DEL MERCADO

En el distrito de Laredo, la permeabilidad urbana es una característica esencial, facilitando la movilidad y el acceso a diferentes áreas.

La ubicación estratégica del mercado hace que facilite la permeabilidad, ya que en sus alrededores se encuentran parques y zonas recreativas, el cual fomenta la interacción social y el comercio local

La combinación de permeabilidad urbana y la proximidad al mercado, parques y zonas recreativas contribuyen a una experiencia urbana equilibrada y dinámica en el distrito de Laredo

LEYENDA

PARQUES Y ÁREAS RECREATVAS

CRCULACIÓN (PERMEABILIDAD URBANA)

U B I C A C I Ó N D E Á R E A S Q U E P E R M I T A N L A P E R M E A B I L I D A D
1 2
32

EXPROPIACIÓN DE TERRENO

NORMATIVA

¿ENQUÉCONSISTELAEXPROPIACIONDE TERRENOS?

Es la transferencia forzosa del derecho de propiedad privada sustentada en causa de seguridad nacional o necesidad pública, autorizada únicamente por ley expresa del Congreso de la República a favor del Estado, a iniciativa del Gobierno Nacional Gobiernos Regionales o Gobiernos Locales y previo pago en efectivo de la indemnización justipreciada que incluya compensación por el eventual perjuicio, conformealartículo70delaConstituciónPolítica del Perú y las reglas establecidas en el presente DecretoLegislativo

PROCESODEEXPROPIACIONDETERRENOS

Determinacióndelanecesidadde expropiación

Notificaciónalpropietario

Valoracióndelterreno

Negociación

Acuerdooprocedimientolegal

Pagodelacompensación

Municipalidad

Población

El Decreto Legislativo Nº 1192 aprueba la Ley Marco de Adquisición y Expropiación de inmuebles, transferencia de inmuebles de propiedad del Estado, liberación de Interferencias y dicta otras medidas para la ejecución de obras de infraestructura.

Decreto Supremo que aprueba el Texto Único Ordenado del Decreto Legislativo Nº 1192, Decreto Legislativo que aprueba la Ley Marco de Adquisición y Expropiación de inmuebles, transferencia de inmuebles de propiedad del Estado, liberación de Interferencias y dicta otras medidas para la ejecución de obras de infraestructura

LEYQUEAUTORIZAALAMUNICIPALIDADPROVINCIALDECHICLAYOA EXPROPIARINMUEBLESPARALAEJECUCIÓNDELAOBRAMUNICIPAL DENOMINADANUEVOYMODERNOMERCADOMODELODECHICLAYO

Artículo1.ObjetodelaLey

LapresenteleytieneporobjetoautorzaralaMunicipalidadProvincia deChicayoaexpropartreintaysete inmueblesubicadosenelinteriordelMercadoModeodeChiclayo provnciadeChiclayo,departamentode Lambayeque para a ejecución de la obra municipal denominada Nuevo y Moderno Mercado Modelo de Chclayo

Artículo2 Justificacióndelaexpropiación

21 La expropiación de los nmuebles se justifica en la necesidad de coadyuvar al desarrollo económco y social de toda la pobación de la provincia de Chcayo mejorando la caidad de los servicios públcos municpaes que presta el principal centro de abastos de esta cudad garantizando la seguridad la salubrdadye ordenatoda aciudadana

22. La expropación de os terrenos que comprenden os inmuebles señalados en e artcuo 4 tiene como únicoobjetivolaeecucióndelaobramunicipaldenominadaNuevoyModernoMercadoModeodeChiclayo y se justifica en la necesidad de fortalecer a formalzación de os comercantes incrementar as transacconesdelosproductores ocaesyregonaes,mejorarencantidadycaidadlaofertadeproductos ypromoverelempeoloca

23 Los comerciantes debidamente empadronados por a Municipaidad Provincia de Chcayo y os propietarios de os nmuebles expropados que actualmente desarrollan sus actvidades en e Mercado ModelodeChiclayotienenpriordadenlaadudicacióndelospuestosdelnuevomercado

Artículo3.Sujetoactivodelaexpropiación

La Municipaldad Provncial de Chiclayo es e sujeto activo de la expropación matera de a presente ley facultándosele para que inice los trámites correspondientes a los procesos de expropiación, de conformidadconlodispuestoporelDecretoLegisativo1192 DecretoLegsatvoqueapruebalaleymarcode adquisiciónyexpropiacióndeinmuebes transferenciadeinmuebesdepropiedaddelEstado liberaciónde interferenciasydictaotrasmedidaspara aejecucóndeobrasde nfraestructura

Artículo5.Pagodelaindemnizaciónjustipreciada

51 Elpagodelaindemnzaciónjustipreciadaqueseestablezcacomoconsecuencadeltratodirectoode osprocedimentosjudicalesoarbtralescorrespondientesloasumelaMunicipaldadProvncialdeChiclayo previa determinación de valor de tasacón comercial realzada por la Dreccón de Construcción de a Drección General de Políticas y Regulación en Construcción y Saneamiento de Ministero de Vvienda ConstrucciónySaneamiento debendoserabonadocondneroenefectivoyenmonedanaciona.

5.2. La Municipaidad Provncial de Chiclayo de acuerdo con su disponibildad presupuestal anual puede realizarelpagode aindemnzaciónjustipreciadadeundeterminadonúmerode nmueblesporcadaaño hastacuminare plazoqueestableceelartcuo7

Artículo6 Recaudacióndirectaderecursoseconómicos

61 Autorízase a a Muncpaidad Provncal de Chiclayo a realzar todas las acciones admnstrativas contractuales y demás actos para la recaudación drecta de recursos económicos con carácter de intangible, inembargable e independente con el que se constituye un fidecomiso para el fnancamiento delpagodel ustipreciode osinmueblesmaterade procesodeexpropiacónreferdosenelartícuo4

6.2 Las acciones que se autorizan en el numeral 61 no afectan la recaudación municipa ni a os contribuyentesn alosvecinosenlaprestacónde osserviciospúblcosmunicipales.

Artículo7.Plazoparainiciarlasexpropiaciones

7.1 La Muncipalidad Provincial de Chcayo en su condición de sujeto activo tiene un plazo de cinco años, contados a partir de a fecha de entrada en vgenca de la presente ley para iniciar los procesos de expropiacón referidos en el artícuo 4, bajo responsablidad de sus funconarios siempre que el incumpimiento no sea atrbuibe a factores como emergencia sanitara desastres producdos por fenómenosnaturalesodéfctfsca delmunicipo

72 LaMunicipaldadProvincaldeChiclayoapartirdelañofiscal2021yhastacuminarlasexpropiacones incorporaensupresupuesto nsttucionallosrecursosnecesariosparaelcumpimientodeesta ey

01 02 03 04 05 06 33

ARA MERCADOS

EXPROPIACIÓN PARA EL MERCADO MODELO DE CHICLAYO

ElPlenodelCongresoaprobóporunaampliamayoría,con92 votosafavory17abstenciones,eldictamenqueautorizaala MunicipalidadProvincialdeChiclayoaexpropiarinmuebles paralaconstruccióndelNuevoyModernoMercadoModelode Chiclayo.Esteacuerdo,luegoexoneradodesegundavotación con91votosafavor,sellevóacabodurantelasesiónvirtualdel lunes31,presididaporlacongresistaMirthaVásquezChuquilín.

Eldictamen,respaldadoporelcongresistaJuanCarlosOyola Rodríguez,presidentedelaComisióndeVivienday Construcción,buscalaexpropiaciónde37inmueblesdentrodel MercadoModelodeChiclayoparamejorarlosserviciospúblicos municipalesypromovereldesarrolloeconómicoysocialdela provincia.Oyolasubrayóqueestamedidatambiéntienecomo objetivofortalecerlaformalizacióndeloscomerciantes, incrementarlastransaccioneslocalesyregionales,asícomo promoverelempleolocal.

ElpagodeindemnizacionesseráasumidoporlaMunicipalidad ProvincialdeChiclayo,basadoenvaloracionescomerciales establecidasporautoridadescompetentes.Estedictamen,en líneaconlassolicitudesdeinstitucionesgremialesdelmercado, buscaotorgarunnuevoplazoparaelprocesodeexpropiación.

Eldebateincluyócomentariossobrelasituacióndelaregión Lambayeque,señalandoproblemasdecorrupcióny deficienciasenlainfraestructura.Legisladorestambién destacaronlaimportanciadeabordarproblemasde insalubridadeinformalidadenlosmercadosdeabastocomo unobstáculoparaeldesarrolloeconómicodelpaís

34

EXPROPIACIÓN DE TERRENO

MERCADO ZONAL DEL DISTRITO DE LAREDO

ÁREAPROYECTADA PARAELMERCADO

¿QUÉPASARÁCONLOSPROPIETARIOSDEPUESTOSINVADIDOSNO CONSOLIDADOS?

PUESTOSTOTALESENLAZONANOCONSOLIDADADELMERCADODELAREDO(ZONAQUESEEXPROPIARA)

tiendadevariedadde productos 8

zapateriaosastreria:1

abarrotes:1

mercería:1

casas:4

plásticosehigiene:2

ropa:9

embutidos:2

mantenimientodebicicletas:3

bebidasyjugos:2

tecnológicos 5 comidas:3

abastos:1

Cada puesto que se ubica en la zona a expropiarse del área privada delmercadotendrápreferenciaparasertrasladadoalnuevoproyecto del mercado de Laredo Esta medida se implementará con el objetivo de garantizar que los comerciantes afectados por la expropiación puedan continuar con sus actividades comerciales en un entorno renovado y mejorado. Se buscará que, en el proceso de reubicación, lospuestosseasignenconsiderandoeltipodeventaqueofrecen,con elfindecrearespaciosmásadecuadosyconfortablesparacadatipo de negocio. De esta manera, se espera que los comerciantes puedan beneficiarse de mejores ambientes laborales, lo que a su vez contribuirá al éxito y la sostenibilidad de sus negocios en el nuevo mercadodeLaredo.

En el casos de que estos puestos presenten una función de vivienda, losdomiciliadosseránubicadosaunazonanetamenteresidencial.Se les brindará la oportunidad de trasladarse a lugares como departamentos,edificiosmultifamiliaresoconjuntosresidenciales,que estén diseñados específicamente para la vida familiar y que cuenten con las comodidades necesarias para garantizar un entorno adecuado para sus actividades diarias. Esta medida busca no solo asegurar la continuidad de la vida cotidiana de los residentes afectados por la expropiación, sino también ofrecerles un ambiente residencialquepromuevasubienestarycalidaddevida

¿QUÉPASARÁCONLOSEXPROPIADOSDELACTUALMERCADODELDISTRITO DELAREDO?

Los expropiados serán reubicados en el nuevo mercado zonal del distrito de Laredo, y esto es por que, debido a una encuesta realizada a los “propietarios” de los puestos ubicados en el área no consolidada del mercado y a los miembrosdelajuntadirectivadelaAsociación decomerciantesdeLaredo,consideranestarde acuerdo en la reubicación de estos puestos en el nuevo mercado, ya que actualmente el mercado no llega a cumplir con la higiene e infraestructuraadecuada.

DATOIMPORTANTE:

LASENTREVISTASREALIZADASALOSPROPIETARIOSDELOSPUESTOS INVADIDOSNOCONSOLIDADOSYALAJUNTADIRECTIVADELAASOCIACIÓN DECOMERCIANTESDELDISTRITODELAREDOSEENUENTRAENLASIGUIENTE DIAPOSITIVA

LEYENDA
35

SUJETO

PROMOTOR: MODALIDAD DE GESTIÓN

Organización: Público

ENTIDADES:

MunicipalidadDistritaldeLaredo

EMPRESAS:

Locales,RegionalesyNacionales

MODALIDAD:

PorImpuestos

HabitantesdelDistrito deLaredo

Beneficiados

Residentes locales

Comerciantes locales

OFERTA

El mercado minorista zonal de Laredo estará gestionado por la Municipalidad de mismo distrito ( distrito de Laredo) y su modalidad será porimpuestos,estoquieredecirquepermitecontarlaparticipacióndela empresaprivada(porconcurso)

EMPRESA PRIVADA

Pro Inversión promueve la inversión privada bajo las modalidades de Asociaciones Público Privadas(APP),ProyectosenActivos(PA)yObrasporImpuestos(OXI),parasuincorporación en servicios públicos, infraestructura pública, en activos, proyectos y empresas del Estado, conformeasusatribuciones

El Director Ejecutivo, quien constituye la más alta autoridad ejecutiva, teniendo a su cargo las funciones de coordinación, administración y representación de PROINVERSIÓN.

DEMANDA:

La demanda local y total de habitantes de la ciudad de Laredo es un indicadorcrucialquereflejalacantidadtotaldepersonasalascualesseles proporcionara este mercado zonal. Esta cifra, que se establece es de 37,206 habitantes según los datos proporcionados, es fundamental para comprenderladinámicademográficaylasnecesidadesdelacomunidaden términosdeservicios,infraestructurayrecursos.

DEMANDAPARAPOBLACIÓNPROYECTADA

Productores locales

CONCLUSION

La importancia de conocer nuestra demanda no ayuda a saber si es necesario el crecimiento del mercado y su expansión vertical Teniendo en cuenta la proyección de la población al 2047 y la categoría a la que pertenece, el mercado abastecería a las personas de la población sin la necesidad de crecer verticalmente. Pero se debe de hacer una proyección a mayor para próximas remodelaciones, por lo que es necesaria una reconstrucción del mercado actual y solucionar los posibles problemasquelimitaranalmercadodeLaredoenelfuturo. TASAPOB.(%)=1.26

Según la proyección poblacional del distrito de Laredo para el año 2047, esta presenta un aproximado de 54166 habitantes, teniendo en cuenta su tasa de población de 126, estas estadísticas son importantes debido a que con ello se tomaran de decisiones sobre el crecimiento y desarrollo del mercado de forma vertical y observar si cubrirá esta demanda futuraconunanuevainfraestructura.

Año 2007 2017 2027 2037 2047 HAB 32,825hab 37206hab 42168hab 47792hab 54166hab
Formula:Pt=P0(1+r)t.
1 36

SUJETO

DEMANDA:

Númerodepuestostotalesparaelproyecto=297puestos

Resultadodelasuma:

Puestosactualesgestionadosporlamunicipalidad=273

Puestosaexpropiarseyañadirsealnuevoproyecto=24

Estaestadísticanosbrindalospuestostotalesqueseagregaranelprograma arquitectónico y que nos ayudara para el diseño del mercado de Laredo Luego de encontrar los puestos totales se determinaran la cantidades de puestos por zonas dependiendo de la zona que más demanda ocupa en el mercado.

PORCENTAJESDEZONASCONMÁSDEMANDAENELMERCADO 3

FIGURA1

Porcentajededemandaporzonas

PROYECCIÓNDEPUESTOSSEGUNZONAS 4

Teniendo en cuenta que la cantidad de puestos totales que cubren la demanda actual del mercadoesde297puestos,setomaencuentasegúnelporcentajesegúnzonas:

Zonaseca(71%)=210puestos

Zonahúmeda(28%)=84puestos

Zonasemihúmeda(1%)=3puestos

Ahora haciendo una proyección de estos puestos en relación a la población proyectada al 2047, donde la estadística nos da un total de 54166 habitantes, el cual nos sirve como indicadordeaumentodedemandaporloquelospuestosaumentaranenproporciónaello.

PARAZONASECA

El gráfico muestra claramente que lazonasecaeslaqueexperimenta lamayordemandaenelmercado. Esto implica que los usuarios tienen una necesidad significativa de productos y servicios específicos que se encuentran en esta área. En consecuencia, en el diseño arquitectónico del mercado, se asignará una atención especial y se otorgará una jerarquía destacada a esta sección para satisfacer las necesidadesdelosconsumidores

37206
Z.HUMEDA (28%) Z.SECA (71%) Z.SEMIHUMEDA (1%)
TOTALDEPUESTOSQUECUBRIRANLADEMANDAACTUAL
2
PARAZONAHÚMEDA PARAZONASEMIHUMEDA 306 puestos 122 puestos 4 puestos 54166 210 X 37206 54166 84 X 37206 54166 3 X
37
FUENTE:PROPIA(ACTUALAÑO2024)

SUJETO: CARACTERISTICAS CUANTITATIVAS DEL PROYECTO

CUADRO DE USUARIOS

USUARIO

Residentes locales

Población:37 206hab.

Laredo cuenta con una población total de 37206 habitantes los cuales 18,356 Hab. son hombres y 18, 850 Hab sonmujeres,siendoeste el porcentaje que prima eneldistritolaredino.

Comerciantes locales

Productores locales

N°DEPUESTOS:322

N°DEPUESTOS NFORMALES 75

CARACTERISTICAS

En el aspecto de residencia vemos que 28 076 Hab residen en la zona urbana del distrito, mientras que 9, 130 Hab. viven en las zonas rurales, siendo estelaminoría.

PERTENECIENTEALAZONASECA

Actualmente los puestos pertenecientes a la zona secas con mayor cantidad de puestos son los puestos de ropa puestos de abastos y seguido de puestos de productos tecnológicos; siendoestos3puestosconlosdemayor demanda enelmercadodeLaredo.

GRÁFICODEPORCENTAJEDELASZONAS QUEPRIMANENELMERCADO

Lazonasecaeslaqueenfrentala mayor solicitud en el mercado Esto sgnifica que los consumidores tienen una necesidad mportante de productos y servcios que están dsponiblesenestazona

Abarque a toda la poblacióndeLaredo

Actualmente el mercado de Laredo cuenta con un total de 322 puestos (gestionado por la municipalidad) y 75 puestos solamente en su alrededor (Invasiones) Mejor consolidación del mercado

Este grafico determina cuáles son los cultivos de producción, líder y de alta participación eneldistritodeLaredo entendiendo por cultivo líder, aquellos en los que una provinciaeselmáximo productor respecto a lasdemás.

PERTENECENTEALAZONAHÚMEDA-SEMIHUMEDA

Incorporación de Áreas de cargaydescarga

MUJER 503% HOMBRE 497% URBANA 75.4% RURAL 246% 0 50 100 150 200 250 300 350 PUESTOSFORMAESPUESTOSINFORMALES
REQUISITOS DE DISEÑO
ZHUMEDA (28%) ZSECA (7%) ZSEMHUMEDA (%)
38

OBJETO

CUADRO DE CONCLUSIÓN X VARIABLE

VARIABLE CONTEXTUAL

Con la ayuda de los casos análogos podemos obtener información sobre estrategias y puntos referentes que beneficiananuestroproyecto;comolo es la ubicación del mercado en una zona centralizada y/o turística que produce un impacto social para los consumidores y a su vez facilita la permeabilidad urbana del proyecto conrespetoasucontexto

CONCLUSIONES X VARIABLE

VARIABLE CONCEPTUAL

Enelanálisisconceptualsebuscaunobjetivo y propósito que debe cumplir el proyecto en base a las ideas rectoras o conceptuales del arquitecto con el fin de expresar y transmitir sucometidoconlasociedad

VARIABLE FUNCIONAL (ZONIFICACIÓN)

VARIABLE FUNCIONAL (ACCESOS Y CIRCULACIONES)

Se logra obtener una solución funcional detodoslosmercados loscualesiniciaa travésdesuorganizaciónyorden,puntos vitales para facilitar el acceso y circulación de los comerciantes y consumidores que usaran este mercado en su abastecimiento. Cada zona esta estratégicamente ubicada para evitar olores bacterias, ruidos que no puedan sercómodosparalosusuarios

Se consigue alcanzar una solución práctica para todos los mercados comenzando por la organización y disposición adecuada, aspectos clave que facilitan el acceso y movimiento tanto de los comerciantes como de los consumidoresqueutilizanestemercado para abastecerse Entre las estrategias tenemos que los accesos principales están bien jerarquizados y ubicados en zonasmastransitadas mientrasquelos secundarios son accesos no ten jerarquizados pero fáciles de ubicar todosestosaccesossiguenunordenpor lo que las circulaciones son mas fluidas y continuas, permitiendo que de esta manera el usuario pueda acceder a todoslospuestosdelmercado.

39

OBJETO

CUADRO DE CONCLUSIÓN X VARIABLE

VARIABLE FUNCIONAL (ORGANIGRAMAS)

VARIABLE FORMAL (VOLUMETRICO)

CONCLUSIONES X VARIABLE

VARIABLE FUNCIONAL (ESPACIAL)

VARIABLE CONSTRUCTIVO

VARIABLE AMBIENTAL

Esta estrategia es muy importante, debido a que gracias a ello podemos conocer como funcionan los espacios y zonas establecidasdelmercado ya suvezfacilitarlaejecuciónde una programación arquitectónica

La volumetría del mercado no solo tiene que ser llamativa, sino también adaptarse al contexto, ya que con ello permitirá una permeabilidad urbana y mejor imagen arquitectónica, teniendo el cuenta la jerarquización en sus volúmenes mas grandes, utilizar formas curvas simbolizando el confort como también las ortogonales para un mejor orden yorganización.

Los espacios se configuran gradualmente a partir de la selección cuidadosa de los volúmenes, lo que permite desarrollar una planificación que refleje un sentido de orden y exhiba las jerarquías presentes en losdiferentesambientes

Dependiendo de las variables climatológicas y sísmicas de la zona en la que se encuentre ubicado el proyecto, se ha de formular un sistema estructural que retribuya estas variables y la volumetría de la edificación, como tambiénbeneficiardeunamanera estética,porejemplo:murocortina, parasoles etc haciendo de esta manera que el edificio sea mas confortable y agradable para los usuarios

La edificación debe adecuarse a los cambios climáticos que beneficien comoporejemplo Alingreso de luz solar, a la captación decalor,ventilacióncruzada, entre otros, y suportar fenómenos naturales como lluvias Todo esto lográndose a través de estrategias arquitectónicas que aprovechen de estos fenómenosnaturales

ZONA HUMEDA ZONA SERVCOS GENERALES SERVICIOS HIGIENICO S ZONA HUMEDA ZONA HUMEDA ZONADE SERVICIO COMPLEMENTARI OS ZONA SEMIHUMED A ACCESO SECUNDARO ACCESO SECUNDARO ACCESO SECUNDAROY CRCULACONES VERTCALES
ACCESO PRNCPAL CVERTCAL 40

F O D A

FORTALEZAS

El mercado está ubicado en una zona de alto tránsito, lo que podría atraer a una gran cantidad de clientes potenciales.

El mercado ofrece una amplia gama de productos, lo que atrae a diferentes tipos de clientes.

Logra abastecer a toda la población laredina.

OPORTUNIDADES

Colaboraciones locales y alianzas con productores locales

Oportunidades laborares para pobladores del distrito de Laredo y para residentes de sectores vecinos

Exportación de productos locales que son producidos en la misma ciudad de Laredo.

DEBILIDADES

Instalaciones deterioradas y poco atractivas.

Invasión de área

Desorden y falta de higiene

Circulación ineficiente

AMENZAS

La imagen arquitectónica del mercado no resulta atractiva para los turistas de otros distritos lo que podría impactar negativamente en el potencial turístico de Laredo

Punto vulnerable ante corrientes o rutas de huaicos

FODA
CONTEXTO
41

CONTEXTO

PARÁMETROS URBANOS

PARÁMETROS URBANOS SEGÚN NORMATIVA

ZONIFICACIÓ N NIVELDE SERVICIO LOTEMÍNIMO ALTURADE EDIFICACIÓN ÁREALIBRE

ZONADE COMERCIO VECINAL CV ZONADE COMERCIO ZONAL CZ

ZONADE COMERCIO ESPECIALIZAD O CE ZONADE COMERCIO METROPOLITA NO CM

Vecindady barriohasta 7500hab Resultado dediseño Sectory distrito hasta 150000hab

Noaplicable enprimeros pisosy suficienteen pisos superiores para iluminación y ventilación, ajuiciode las comisiones técnicas

15(a+r)

Max 60%del áreatechada total resultante

Max.50%del áreatechada total resultante.

Max.25%del áreatechada total resultante

PARÁMETROS URBANOS (PROYECTO)

Noaplicableenprmeros psosysuficenteenpsos superioresparailuminacón yventilacón,a ucode as comisonestécnicas

ÁREAMINIMANORMADA

ÁREAS

ÁREATECHADA

ÁREALIBRE

1.5(a+r)
COEFICIENTE
EDIFICACIÓN RESIDENCIAL COMPATIBLE
DE
DISTRITAL METROPOLITA NOY REGIONAL 450m2 450m2 5.000m2 15(a+r) 15(a+r) 1.5(a+r) 3.0 6.5 1.5(a+r) RDM
RDA RDA
CUADRONORMATIVO PARAMETROS NORMATIVO PROYECTO NIVELDE SERVICIO 150.000HAB. 50.000HAB. COEF DE EDIFICACIÓN 65 6.5 %ÁREAS LIBRE 15% ALTURA MÁXIMA 15(A+R) 2
ÁREADELTERRENO 450m2 2800m2 1200m2 4000m2 42

CONTEXTO

IMPACTO URBANO Y VISTAS DEL TERRENO

El nuevo mercado de Laredo tendrá un impacto positivo, ya que estará mejor organizado y con una mayor permeabilidad urbana ofreciendo una serie de beneficios significativos para la comunidad y el entorno urbano en general. En primer lugar, una mayor organización dentro del mercado facilitará la circulación y la compra para los consumidores, lo que mejorará su experiencia de compra y fomentará la repetición de visitas. Además, una distribución ordenada de los productos permitirá una gestión más eficiente del espacio, lo que puede resultar en una mayor diversidad de productos disponibles y una competencia más equitativa entre los vendedores. En términos de permeabilidad urbana, el mercado estará bien integrado con su entorno, contribuyendo a la vitalidad y la cohesión del distrito, actuando como un punto de encuentro para residentes locales y visitantes. .

43

PLANO DE UBICACIÓN

CALLE LA REFORMA

C. LOS JASMINES

44 2
950 m2 3124 m2 4003 m2 15%

PLANO TOPOGRAFICO

CALLE LA REFORMA

45

PROGRAMACIÓN

P R O G R A M A C I Ó N C U A D R O D E Á R E A S
46

ORGANIGRAMAS

INTENSIDAD FUNCIONAL

ACCESO SECUNDARIO

ACCESO SECUNDARIO

CIRCULACION DIFERENCIDA POR USUARIO

ACCESO SECUNDARIO

ACCESO SECUNDARIO

SERVICIOS HIGIENICOS

C.VERTICAL

ZONADESERVICIO COMPLEMENTARIOS

ACCESO

SECUNDARIO Y CIRCULACIONE S VERTICALES

ZONASERVICIOS GENERALES

ZONASEMIHUMEDA

SERVICIOS HIGIENICOS

ZONADESERVICIO COMPLEMENTARIOS

ACCESO

SECUNDARIO Y CIRCULACIONE S VERTICALES

ZONASERVICIOS GENERALES

ZONASEMIHUMEDA

ZONAHUMEDA

ZONAADMINISTRATIVA

ACCESO PRINCIPAL

MAYOR INTENSIDAD

CIRCULACIÓN PRIVADA

CIRCULACIÓN PÚBLICA

2
ZONAHUMEDA
ZONAHUMEDA
MEDIA
INTENSIDAD BAJA INTENSIDAD
ZONASECA ZONASECA ZONAHUMEDA
ACCESO PRINCIPAL
ZONAHUMEDA ZONAHUMEDA
ZONASECA ZONASECA
C.VERTICAL ZONAADMINISTRATIVA
47

CUADRO MATRIZ

VARIABLE

ZONA

ZONASSECAS

ZONASHUMEDAS

ZONASSEMIHUMEDAS

PUESTOS ORIENTADAS A LAS LATERALES Y SEAN VISIBLES PARA TODAS LAS PERSONAS

DE FACIL ACESO Y CURCILACION CONTINUA Y PERMEABLE.

MATRIZDECRITERIOS

ZONAADMINISTRATIVA

ZONADESERVICIOS

GENERALES

ZONADESERVICIOS

COMPLEMENTARIOS

ORIENTADA AL NORTE PARA ABASTECERLA DE ILUMINACION Y RAYOS SOLARES QUE ELIMINEN OLORES Y BACTERIAS

DE FACIL ACESO Y CURCILACION CONTINUA Y PERMEABLE.

VOLUMETRIA ESPACIALIDAD

VOLUMEN MÁS JERARQUIZADO DE LAS ZONAS DE SERVICIO PERO MENOR A LA DE LAS ZONA HUMEDAS

DE FACIL ACESO Y CURCILACION CONTINUA Y PERMEABLE.

CON VENTILACION Y DE USO INTIMO, APARTADA DE LA ZONA COMERCIAL Y DE SIMPLE ACCESO PARA LOS EMPLEADOS

ZONAS UBICADAS ESTRATEGICAMENTE PARA FACIL ACCESO DE LOS EMPLEADOS Y COMPRADORES.

ALMACENAMIENTO Y FRIGORIZACION DE PRODUCTOS EN VENTAS.

ZONAS DE CARGA Y DESCARGA QUE SOLUCIONAN LA PROBLEMÁTICA DE CONTAMINACIÓN EN EL MERCADO (ÁREA DE RESIDUOS).

VOLUMEN JERARQUIZADO, MEJOR UBICADO Y PRIORIZADO

VOLUMEN MÁS JERARQUIZADO DE LAS ZONAS DE SERVICIO PERO MENOR A LA DE LAS ZONA HUMEDAS

ESPACIOS AMPLIOS Y DE DOBLE ALTURA PARA ABASTECERLA DE VENTILACION NATURAL VENTILACION CONTINUA Y CRUZADA

EL SISTEMA ESTRUCTURAL ES INDEPENDIENTE DE LOS MODULOS DE SU ACCIONAR

EL SISTEMA ESTRUCTURAL ES INDEPENDIENTE DE LOS MODULOS DE SU ACCIONAR

EL SISTEMA ESTRUCTURAL ES INDEPENDIENTE DE LOS MODULOS DE SU ACCIONAR

ESPACIOS COMODOS Y ORTOGONALES CON ILUMINACION

PISO LIBRE SIN SEPARACION DE CONCRETO PARA MEJOR CIRCULACION DE VIENTOS

MENOR JERARQUIA DEBIDO A SU IMPORTANCIA Y USO

ESPACIOS AMPLIOS PARA MANIOBRAS DEL TRANSPORTE Y ZONA DE DESCARGA

NO DEBE PRESENTAR COLUMNAS, DEIVISION DE OFICINAS POR MAMPARAS DIVISORAS

USO DE SISTEMA CONVENCIONAL DE CONCRETO

MENOR JERARQUIA DEBIDO A SU IMPORTANCIA Y USO

EDIFICIO

ÁREA LIBRE ALREDEDOR DEL EDIFICIO PARA DESARROLLA UNA CONECTIVIDAD CON CON LA CIUDAD.

USO DE AREAS VERDES, Y ESTRATEGIAS PARA LA ENTRADA DE VIENTOS Y LUZ SOLAR.

USO DE SISTEMA CONVENCIONAL DE CONCRETO

USO DE SISTEMAS DE ENCALLADAS METALICAS, MURO CORTINAS Y CELOSIAS

2
CONTEXTO FUNCION FORMA TEC.AMBIENTAL TEC.CONSTRUCTIVO
48

Turn static files into dynamic content formats.

Create a flipbook
Issuu converts static files into: digital portfolios, online yearbooks, online catalogs, digital photo albums and more. Sign up and create your flipbook.