SMP - May 30, 2025

Page 1


South Mountain P re s s

DARRELL NESBITT/SOUTH MOUNTAIN PRESS

Grain producers in the area took advantage of the ideal farming conditions over the past week. This producer was found harrowing in a stubble field in the vicinity of the intersection of Highways 10 and 45 on the morning of Friday, May 23. Although it delayed seeding, the rain received was welcomed across the region by farmers, but more is still required.

Seeding progress is on target for May

Across the region, roughly half of the expected crops have been seeded, according to the most recent provincial crop report. Locally, rainfall has been uneven, but despite the sporadic showers, moisture levels still aren’t enough to fully stabilize the ground.

Although spring seeding is still moving ahead well, the early part

of the season has been particularly difficult, with initial dryness raising concerns about moisture availability. Just as seeding began, a cold snap hit, followed by hot weather and even more heavy rain. This back-and-forth weather pattern caused issues like grass fires and made it difficult for producers to establish their crops confidently.

Despite these hurdles, there is slow, but steady area progress, however, crop development varies

across the region – oats and barley are over half seeded, with some fields already sprouting. Wheat has advanced considerably, with some fields reaching early growth stages. Corn seeding is about 50% complete, and peas are fully seeded. Soybeans are only about halfway, showing slower progress, and canola planting is slightly behind schedule but still ongoing.

Forage conditions have improved recently after a delayed

start caused by cooler temperatures. The recent development in growth and greenery is promising, and pasture growth is generally good. Many cattle herds are now being turned out into summer pastures, which is a positive sign for livestock producers.

Some weather-related setbacks affected seeding in early May, especially due to overland flooding and cooler, windy conditions. However, recent rainfall events and rising

Running a SMALL BUSINESS means staying agile, and when opportunities arise, timing is everything.

Whether you’re expanding operations, purchasing inventory, or covering unexpected costs, we put the power of quick funding in your hands.

Some conditions apply, visit sunrisecu.mb.ca for more details.

temperatures are helping crops and pastures recover.

Despite a challenging start to the season, seeding and crop growth are picking up pace in southwestern Manitoba. Producers remain watchful of weather patterns and moisture levels but are optimistic about a productive season ahead. The progress so far, while unpredictable, is showing that 2025 is on target for an abundant growing season ahead.

RACHEAL FLINTOFT
South Mountain Press

Mazier calls on Parks Canada to hold public meeting to explain w atercraft ban decision

Editor’s note: The following letter was sent to the Superintendent of Riding Mountain National Park in addition to this newspaper.

Dear Superintendent,

I am writing to request Parks Canada hold an inperson, public meeting to explain its sudden reversal on motorized watercraft access to Clear Lake in Riding Mountain National Park. The decision to impose a ban just before the May long weekend with inadequate notice, consultation, or clear justification, has blindsided the community and undermined months of preparation.

Businesses, families, and visitors planned their season based on Parks Canada’s earlier commitment to the “one boat, one lake” policy. That plan had wide support.

Now, without explanation, it’s been abandoned. As the Brandon Sun reported, “Parks Canada did not directly answer the Sun on the question of what changed between January and May...”

This lack of transparency has only deepened public frustration.

Worse still, emails reveal

Letter

that as late as May 12, 2025, Parks Canada was still telling the public that motorized watercraft would be allowed on Clear Lake under the “one boat, one lake” policy.

“The current plan is that both motorized boats and non-motorized watercraft... will be allowed on Clear Lake” stated an email obtained by my office.

Parks Canada is a public agency. It is accountable to the people it serves. Yet increasingly, the public feels shut out of decisions that deeply affect their lives and livelihoods. That must change.

I urge you to hold a public, in-person meeting with at least one week’s notice, so the community can hear directly from your office and ask questions. It is your responsibility to restore transparency and rebuild trust.

I await your timely response to this important matter.

Regards, Dan Mazier Member of Parliament Riding Mountain

CABIN GETAWAY

The Manitoba government has introduced legislation to bring down interprovincial trade barriers and help grow the province’s economy, Business, Mining, Trade and Job Creation Minister Jamie Moses announced.

“Manitoba is dealing with both American and Chinese tariffs and now is the time to build up this country we love so much,” said Moses.

“Through this legislation and co-operation with other provinces, territories and the federal government, we will unlock more economic opportunities for people across the country. Together, we are building a stronger, more resilient economy that will support Manitoba workers and bring our country together.”

Bill 47, the fair trade in Canada act, would remove trade barriers for goods and services between Manitoba and other jurisdictions in Canada. The proposed legislation is based on mutual recognition similar to other provinces, the minister noted.

If the federal government, a province or a territory has legislation or an approach similar to Manitoba’s for removing barriers to trade in

goods and services, the Manitoba government may designate it as a reciprocating jurisdiction.

Under mutual recognition rules, the goods and services of a reciprocating jurisdiction that meet its standards and approvals would be recognized as meeting the comparable standards and approvals in Manitoba.

The mutual recognition rules would not apply to goods and services that are provided by Crown corporations. With this legislation, the Commemoration of Days, Weeks and Months Act would be amended to proclaim June 1 of each year as Buy Manitoba, Buy Canadian Day.

This legislation builds on the memorandum of understanding (MOU) on economic co-operation signed by the governments of Ontario and Manitoba earlier this month, the minister noted. The MOU asks both provinces to introduce legislation using reciprocal mutual recognition to reduce trade barriers. Other provinces, including British Columbia, Nova Scotia and New Brunswick, have introduced similar legislation.

It’s funny how I never thought I’d become so dependent on my phone. I mean, I knew I spent a fair amount of time scrolling through social media, but lately, it felt like I was constantly on it – morning, afternoon, night – any free moment I had. And honestly, I started to wonder… when is it too much? When does scrolling become a distraction rather than a connection? The beginning of social media and its rapid growth seems like a lifetime ago, and sometimes it’s hard to a remember a time without it. Invented just a little over 20 years ago, social media started gaining traction in the early 2000s, with platforms like Facebook launching in 2004, followed by Twitter (now X) in 2006, and later Instagram in 2010. Before that, our online interactions were mostly limited to emails and forums. Do you remember My Space? As simple platforms evolved, so did our ability –and desire – to stay connected

all the time. Today, social media is woven into the fabric of our daily lives. It’s not just used for staying in touch with friends and family but also for business, news, and entertainment. I think about how, back then, I used to spend maybe an hour or two on social media per day. Now, studies show that the average person spends over 3.5 hours daily scrolling – sometimes even more. And from a Canadian source I read recently, it turns out we spend around 4 hours per day in various ways on social media platforms. That’s 28 hours every week dedicated to scrolling… So, what is the impact of being “connected”? For me, at first, it felt harmless. I’d catch up on friends’ photos, see what people are doing, or read interesting things… watch cute cat videos! But over time, that constant flow of information started to weigh on me. Sometimes I’d find myself mindlessly checking my phone in the middle of a conversation or while doing a task. Have

NORDIC Greenhouses

Monday Friday • 5:00 to 8:00 p.m. Saturday & Sunday • 12:00 to 5:00 p.m. 16 miles west of Onanole on Lake Audy Rd (354) Dale Ewasiuk | 204 761 1038

you ever checked social media, thinking, “Just a few minutes,” but then realizing an hour had slipped away?

The truth is in the numbers. Social media is engineered to keep us engaged. Algorithms show us content tailored to keep us scrolling longer. But here’s the thing… do I really need to check the latest updates every five minutes? Or is this constant connection turning into a distraction from what’s happening right in front of me?

I started asking myself –when is it too much? And honestly, the line isn’t always clear. For me, it’s when I notice that social media is interfering with my sleep, my work, or my time with loved ones. I realized I’d been waking up and immediately reaching for my phone, scrolling before I even got out of bed. That’s when I knew I was too dependent. It’s also when I catch myself feeling anxious or overwhelmed after a quick scroll – comparing my life to others, agitated, or just feeling mentally exhausted. That’s a sign

TAKING A DIGITAL DETOX

Taking a break from my phone and social media has shown me that scrolling was more about distraction than connection

that maybe I need to step back.

The power of a digital detox is a real thing… I decided to take a break –what I’d call a social media detox. At first, I thought it would be difficult. After all, social media had become a way to relax, to feel connected, or even to escape. But I found that a break was exactly what I needed.

During my detox, I set specific goals – like staying off social media for a week, turning off notifications, and setting boundaries on my screen time. I used my smartphone’s built-in features to monitor how much time I spent on each platform. To my surprise, I spent about 3 hours daily on social media – way more than I thought. Knowing that number made me realize how often I was reaching for my phone out of habit rather than necessity.

One thing I learned is that life becomes richer when I’m truly present. Without the constant interruptions of notifications and scrolling, I started noticing small things,

and concentrating on what matters more.

When I put my phone away, I felt more connected and less anxious. I also realized that I don’t always need to be updated or “connected” every second. Is social media really connection anyways?

So, why a social media detox is more important than ever in today’s world?

Taking a break isn’t about abandoning social media altogether but about gaining control over our habits. With technology everywhere, our digital lives are so immersive that it’s easy to lose track of time and space. I think many of us forget that our mental health benefits from moments of silence, contemplation, or simply being present without a screen.

In this age, it’s crucial to

ask ourselves… how much time are we really spending on social media, and how is it affecting us?

My experience showed me that even a short detox can make a big difference. It helped me feel calmer, more focused, and more appreciative of the little things. I found I enjoy my free time more when I’m not constantly checking my phone. So, if you feel overwhelmed or distracted by social media, maybe give yourself a break. Set small goals –like a day or a weekend – put your phone away… and see how it feels. You might discover that life is more peaceful and fulfilling when you step back from the screen. Sometimes, a simple pause is exactly what we need to reset and find stability again. Erickson Collegiate’s Annual

Municipality of Clanwilliam-Erickson residents who wish to have dust suppression chemical applied on municipal roads adjacent to their dwelling may now request the service.

Friday, June 6 10:00 a.m. to 2:00 p.m. at Erickson Collegiate Everything grown by students! Cash or Cheque Only THANK YOU FOR YOUR CONTINUED SUPPORT!

Requests are to be received by the Municipality of Clanwilliam-Erickson municipal office by June 6, 2025. The cost of application is $321.07 for a 300’ length, and $535.12 for a 500’ length. Custom lengths are also available if desired. Prepayment is required. Remote/contactless payment options available –contact us for details. Payments will be refunded if there are not enough requests to order a full truckload.

Municipality of Clanwilliam-Erickson Box 40, 45 Main Street Erickson, MB R0J 0P0 (204) 636-2431 acao@ericksonmb.ca

to the editor:

ION

Personal life is all about balance

In my younger years as an employee I didn’t mind taking a break away from my office chair and computer, but then I was a smoker who needed to inhale and exhale on a fairly regular basis.

Since quitting the bad habit, time spent away from the work computer, is far less, but as this motivational quote states…

Life is all about balance –you don’t always need to be getting stuff done. Sometimes it’s perfectly okay, and absolutely necessary, to shut down, kick back, and do nothing.

Remember, “If you can do what you do best and be happy, you are further along in life than most people.”

The Magic Bank Account

The author is not known.

This note was found in the billfold of Coach Paul William “Bear” Bryant, after he

Darrell Nesbitt AROUND TOWN

died in 1982. Bryant was considered by many to be one of the greatest college football coaches of all time, and was best known as the head coach of the University of Alabama football team, the Alabama Crimson Tide, for 25 years starting in 1958.

Imagine that you had won the following “prize” in a contest: Each morning your

bank would deposit $86,400 in your private account for your use. However, this prize has rules, as follows:

1. Everything that you didn’t spend during each day would be taken away from you.

2. You may not simply transfer money into some other account.

3. You may only spend it.

4. Each morning upon awakening, the bank opens your account with another $86,400 for that day.

5. The bank can end the game without warning; at any time it can say, “Game Over”. It can close the account and you will not receive a new one.

What would you personally do?

You would buy anything and everything you wanted right? Not only for yourself, but for all the people you love and care for. Even for

people you don’t know, because you couldn’t possibly spend it all on yourself, right?

You would try to spend every penny, and use it all, because you knew it would be replenished in the morning, right?

Actually, this game is real… Shocked? Yes! Each of us is already a winner of this “prize”. We just can’t seem to see it. The prize is “time”.

1. Each morning we awaken to receive 86,400 seconds as a gift of life.

2. And when we go to sleep at night, any remaining time is “not” credited to us.

3. What we haven’t used up that day is forever lost.

4. Yesterday is forever gone.

5. Each morning the account is refilled, but the bank can dissolve your account at any time without warning…

So, what will you do with your 86,400 seconds?

Those seconds are worth so much more than the same amount in dollars. Think about it and remember to enjoy every second of your life, because time races by so much quicker than you think.

So take care of yourself –be happy, love deeply and enjoy life!

Here’s wishing you a wonderful and beautiful day. Start “spending wisely”.

“Don’t complain about growing old… some people don’t get the privilege!

Best ofFriends

Two Kinds ofPeople Somebody said there are only two kinds of people in the world. There are those who wake up in the morning and say, “Good morning, Lord,” and there are those who wake up in the morning and say, “Good Lord, it’s morning.”

Until next week… Do one thing everyday that scares you!

Two elderly ladies had been friends for many decades. Over the years they had shared all kinds of activities and adventures. Lately, their activities had been limited to meeting a few times a week to play cards. One day they were playing cards when one looked at the other and said, “Now don’t get mad at me… I know we’ve been friends for a long time… but I just can’t think of your name! I’ve thought and thought, but I can’t remember it. Please tell me what your name is?” Her friend glared at her. For at least three minutes she just stared and glared at her. Finally she said, “How soon do you need to know?”

Riding Mountain National Park needs a new superintendent

Editor’s note: The following letter was sent to Ron Hallman, the President and CEO of Parks Canada Agency, in addition to this newspaper.

Dear Mr. Hallman, There comes a time when leadership must be held accountable not just for a single decision, but for a sustained pattern of failure. That time has come in Riding Mountain National Park.

The sudden reversal of the “one boat, one lake” policy –announced mere hours before the May long weekend – was a deeply destabilizing moment

Letter

for residents, businesses, and visitors, and the final breaking point in a long-standing and worsening pattern of disregard for this community. For months, Parks Canada staff repeatedly assured the public that the policy would remain in place for the 2025 season. Based on those assurances, business owners hired staff, families booked vacations, and operators made significant investments. Then, without notice or credible rationale, those plans were up-

ended.

Let us be clear: this is not just about a policy decision. It is about a persistent culture of opacity, exclusion, and disregard. In our letter dated Sept. 3, 2024, we raised these exact concerns and offered practical solutions – including a renewed framework for collaboration. In your office’s response of Oct. 23, 2024, we were assured that transparency and engagement were priorities, and we were directed to local staff to begin deeper conversations.

Despite this, those conversations never materialized,

and those local staff you asked us to engage with have since stepped away from the Field Unit. Instead, the situation has deteriorated further. Under the current leadership, communication from the Riding Mountain Field Unit has become increasingly dismissive. Transparency has collapsed. Community input is ignored. Questions go unanswered. Stakeholders feel they are not treated as partners, but as nuisances.

The residents and stewards of this area – our members included – have consistently offered to help, to engage, and

to be part of the solution in protecting Riding Mountain’s ecological integrity. We have done so in good faith. But again and again, that good faith has been met with indifference or outright contempt. This is not leadership. It is dysfunction. And it has broken public trust and galvanized support for immediate action.

We are calling on you to replace the Superintendent of the Riding Mountain Field Unit with someone who will rebuild what has been lost –someone who will lead responsibly, engage transparently,

and view local residents not as adversaries, but as allies in the stewardship of one of Canada’s most treasured national parks.

Riding Mountain is not simply a vacation destination. It is a vital part of life for the people who live near it, work within it, and care deeply about its future. They deserve – and have repeatedly asked for – leadership that reflects that reality.

Owners’ Association

Mazier urges Parks Canada to reinstate “one boat, one lake” policy

Editor’s note: The following letter was sent to the Hon. Julie Dabrusin, Minister of Environment and Climate Change in addition to this newspaper.

Dear Minister Dabrusin, I am writing to express deep concern over Parks Canada’s abrupt reversal of its decision to allow motorized boat access on Clear Lake in Riding Mountain National Park.

The decision to impose a ban just days before the May long weekend with inadequate notice, consultation, or clear justification, has blindsided the community and undermined months of preparation. Businesses, families, and visitors planned their season based on Parks Canada’s earlier commitment this year to the “one boat, one lake” policy.

That plan had broad support and was understood to be in place for the 2025 season.

As recently as May 12, 2025, emails obtained show that Parks Canada was still advising that motorized boats would be permitted on Clear Lake. Then, without any public consultation or explanation, that guidance was abruptly overturned. When pressed for clarity

Parks Canada officials offered no explanation, leading the Brandon Sun to report that the agency “did not directly answer the Sun on the question of what changed between January and May”.

Minister, communities around Riding Mountain National Park are losing confidence in the agency you are

responsible for. Many now feel that Parks Canada has lost sight of the fact our national parks are meant to be enjoyed by all Canadians –not managed behind closed doors at the expense of the very people who live near, work in, and visit the park.

I urge you to take immediate steps to rebuild that

trust. Specifically: 1. Reverse the decision and reinstate the previously announced “one boat, one lake” policy, which allowed responsible and controlled access while addressing environmental concerns.

2. Assign new local leadership to the Riding Mountain Field Unit. Trust in the

current superintendent’s office has been severely damaged, and a change is necessary to restore confidence. I hope you will take this matter seriously and respond with action.

Sincerely, Dan Mazier

Member of Parliament Riding Mountain

A PLACE OF BELONGING

Frontier Trading Company launches

DONALD BERGER

South Mountain Press

A respected name in Minnedosa’s care and compassion community is ready to grow.

Frontier Trading Company

Inc., a non-profit that has provided over 40 years of support to adults with developmental disabilities in Minnedosa, has launched a fundraising campaign to build a new, modern day program building – right in the heart of town.

While many locals know Frontier best through its bustling Thrift Shop on the corner of Highway 16A and 9 Ave. SW, few may realize the scale of the organization’s impact. Frontier currently operates two group homes, a supported-independent living program, and a life-changing day program that blends skillbuilding, social engagement, and supported employment –all run by a team of over 24 Minnedosa-based staff and a dedicated group of over 15 adults with developmental disabilities who proudly work within the thrift store.

Each year, Frontier contributes more than $100,000 into the local economy, making it both a compassionate

force and a quiet economic engine for the community. Now, with community demand growing and the need for enhanced accessibility and expanded programming, the organization is setting its sights on the future.

A BIGGER VISION

The Thrift Shop will have an expanded footprint and take over the full space of the current building. The upcoming day program facility will be constructed on the current site of Frontier’s operations, offering an array of new features designed to enhance the experience for people. The building will provide ample space for engaging programming and social activities, fostering increased community engagement because of the upgraded facilities and atmosphere. Accessibility is a top priority, with

modern washrooms and entrances designed to be wheelchair-friendly, ensuring everyone can navigate the facility with ease.

The facility will focus on individualized support and include a dedicated sensory room thoughtfully designed to cater to persons with specialized sensory needs. This room will offer a calming and conducive environment for relaxation and engagement. A fully equipped kitchen will serve as a practical space not only for meal preparation but also as a learning hub for teaching essential life and work skills, empowering individuals with valuable, real-world abilities. Additionally, a significant feature of the new facility will be the expanded footprint for the Thrift Shop, which will occupy the entirety of the current build-

ing’s space. This enhancement will not only provide a wider selection of goods for the community but also create more opportunities for participants to gain experience in retail and customer service

“The new facility will not only improve the quality of life for supported individuals but also ensure that we can meet the varying needs of our growing community for years to come,” said Greg Lawson, long-time member of the Frontier board.

Frontier has assured the public that the Thrift Shop will continue to operate during construction, with minimal disruptions to daily routines.

LOCAL ROOTS

Frontier’s legacy in Minnedosa is proudly local. Many staff, supported indi-

Greg NESBITT MLA for Riding Mountain

viduals, volunteers and board members are lifelong residents. The friendships, mentorships, and workplace bonds formed at the thrift shop and day program have touched generations of families across town.

“It’s not just a building –it’s a place of belonging,” said Jordan Shand, Frontier Resident and Participant Representive of Frontier’s Board.

“Frontier gives people a purpose, a community, and a chance to shine,” added longtime supporter, volunteer, and board member, Jean Horwood.

That spirit of inclusion and possibility has kept Frontier thriving for four decades – and now, it’s inviting the community to help write its next chapter.

As the building campaign gets underway, Frontier in-

vites individuals, businesses, and community groups to get involved. Every contribution makes a difference, whether by donating, sponsoring, or volunteering with the fundraising committee. Stay tuned for a couple of our upcoming fundraisers – The Ultimate Summer Giveaway Raffle and a Fashion Show in September.

Anyone interested in supporting the project can stop by the thrift store or email the organization.

“We want this new day program space to be something the whole town can be proud of,” the organization’s Executive Director, Bailey Jonsson noted. “With Minnedosa’s help, we know it’s possible.”

PHOTO BY DARRELL NESBITT/ SOUTH MOUNTAIN PRESS

RCMP investigating fatal two-vehicle collision

On May 21, Selkirk RCMP responded to a report of a two-vehicle collision on Highway 8, located at the intersection with Highway 67, in the Rural Municipality (R.M.) of St. Andrews. Investigators have determined that a semitrailer, travelling south on Highway 8, collided with a westbound SUV, as it crossed the intersection. The 18-yearold male driver of the SUV, from Stonewall, was pronounced deceased on scene. The 43-year-old male driver of the semi-trailer, from Winnipeg, was taken to hospital with non-life-threatening injuries. Selkirk RCMP, along with a Forensic Collision Reconstructionist, continue to investigate.

On May 20, Falcon Lake RCMP received a report of a structure fire located in Block 11 in Falcon Lake.Officers attended the scene and observed a cottage completely engulfed in flames. The local fire department, with assistance from the Province of Manitoba Wildfire Service, attended and extinguished the blaze. No injuries were reported.The cause of the fire has yet to be determined.

On May 16, officers from

RCMP Briefs

the Dauphin RCMP Detachment received a report of an iPhone crash notification within a short radius of Highway 5, near Ochre River. A short time later, an update was received that reported a single-vehicle rollover had occurred on Road 140N in the R.M. of Lakeshore.Officers attended to the scene and observed a single vehicle had entered the water filled ditch and rolled. It is believed the eastbound vehicle lost control on the gravel road when it crossed the rail line. The driver of the vehicle, a 59year-old female from Ochre River, had been pulled from her vehicle by several passersby, who had come across the scene of the collision. EMS arrived on scene and provided medical assistance to the victim who was

later pronounced deceased. Dauphin RCMP continue to investigate.

On May 15, The Pas RCMP responded to a report of a stabbing outside an address located on Hogan Avenue in The Pas. Officers arrived and located a 49-year-old male, from Cormorant, suffering from multiple stab wounds. He was transported to hospital with serious but non-lifethreatening injuries. The investigation led to a suspect being identified and later arrested for Aggravated Assault. A search warrant was drafted and executed at a residence where the suspect had been apprehended by officers earlier. As a result of this search, officers located the suspects clothing, worn at the time of the offence, and several knives. A 28-year-old male of Chemawawin, was charged with Aggravated Assault and Robbery. He was remanded into custody. The Pas RCMP continue to investigate.

On May 14, Island Lake RCMP received a report of a UTV rollover that occurred in Minithayinikam (St. Thresa Point First Nation). Officers have determined that the

UTV, being driven by a 31year-old male from Minithayinikam, along with a 34-yearold female passenger, also from Minithayinikam, was travelling in a field, near the community, when the driver

lost control of the UTV, as a result of driving carelessly, causing it to roll. The male driver, who was not wearing his seatbelt, was ejected from the vehicle. He was taken to the Nursing Station where he was pronounced deceased. The female passenger was also taken to the Nursing Station where she was treated and released. Island Lake RCMP continue to investigate.

Mavericks open with a win and a tie versus Carberry

The Minnedosa Mavericks opened Santa Clara Baseball League play with a home and home series with the Carberry Royals. The teams played to a tie in Minnedosa, with the Mavericks earning the win back in Carberry.

MINNEDOSA 11 CARBERRY 8

George McNeil singled, doubled and homered as the Mavericks outslugged the Royals 11-8 in Carberry on Sunday, May 25. McNeil’s effort – a triple short of the cycle –drove in seven runs. Victor Lamb had a double and single, while Devon Foord

SANTA CLARA

SANTA CLARA BASEBALL LEAGUE

chipped in with a double. Luke Gugin, who worked the first four innings, picked up the pitching win. He allowed four runs on six hits. Liam Bachewich gave up four runs on four hits over the final three innings.

MINNEDOSA 10

CARBERRY 10

The Mavericks and Royals played to a 10-10 tie

in Minnedosa on Wednesday, May 21.

Devin Foord went the distance on the mound for the Mavericks, giving up 12 hits and issuing six bases on balls.

Cory Billiaert worked the first four innings for the Royals, with Eric Truscott tossing the final three. The pair combined to allow 12 hits and walked five.

Brayden Stewart doubled and stroked a pair of singles for the hosts, while Carter Hedley, George McNeil and Foord each singled twice.

Jared Bridges homered and singled for the Royals.

Email us yoursports news:

smpnews@mymts.net

THE THUNDER ROLLS

World-class bull riders delight crowd as PBR Canada unleashes adrenaline rush in Brandon as part of Canada Cup Series

World-class athletes in the form of bull riders, and their opponents a ton of high kicking, fast spinning, and ornery muscle, went head-to-head in Brandon over the weekend.

For the fourth consecutive year, PBR (Professional Bull Riders) Canada Cup Series brought the house down at the PBR Mazergroup Chute Out under the bright lights of Westoba Place. Following the overwhelming enthusiasm shown including last season’s single day sold out show, the organization expanded the competition to two days with champions crowned each night.

In front of a sold-out crowd on Saturday, May 24, Jake Gardner went a perfect 3-for-3 to win the lone PBR Canada Cup Series event in

Manitoba this season.

The Fort St. John, BC native travelled to Brandon fresh off a win on the Touring Pro Division, on Thursday. The three bulls conquered were Red Rust (Vold Rodeo), Kraken (Skori Bucking Bulls) and with the first pick in the championship round, the selection of Patiently Waiting (Skori Bucking Bulls), the same bull that propelled Gardner to the win in Dauphin. On the night, Gardner posted respective ride scores of 84, 87, and 86 for a total of 256, one ahead of second place finisher Dakota Buttar of Eastonia, SK. Buttar – the first man out on Friday – posted an 84.5 score, which was good enough to claim the championship honours. He delivered a 3-for-3 performance of his own to finish second at the PBR Mazergroup Chute Out

with 255 points.

Rounding out the top five riders, were Jordan Hansen of Amisk, AB in third, Coy Robbins of Camrose, AB fourth, and elder statesman, Jared Parsonage, in fifth with 176.50 based on scores on solely two bulls.

“The PBR Canada family including myself looks at Brandon as a stop like no other – a weekend of energy –with packed audiences supporting the cause and sharing in the excitement,” said Brinson James – The Entertainer, a self-taught professional rodeo clown, who shared the roads with his mother and father (Hollywood Harris) on the rodeo trail. The 30-yearold with ‘Moves like Elvis’ is creating his own identity, one that truly uplifts the big stage.

Six junior bull riders showcased talent of their own

as part of the Friday night event including 16-year-old Levi, the younger brother of Coy Robbins. Holding the top score once the dust settled was Manitoba’s own, Jett Lockie of Waskada, with a single ride score of 79.

“To bring some of Canada’s young guys to the big show is a step in molding them into top notch professional riders and the future of PBR Canada,” the elder Robbins shared with fans.

“Bull riding is a sport – a family oriented sport – with a number of competitors bringing their loved ones on the road.”

Bull riding is a passion. Eight seconds of pure madness with riders hanging on a rope for dear life. In Brandon 24 Canada Cup Series riders including 6 Brazilians laid riding styles on the line.

“It’s the most important

eight seconds of your life… no fear,” commented 2024 PBR Canada Champion, Nick Tetz, who missed Brandon, due to a broken left femur sustained at a PBR’s Unleash the Beast event in Palm Springs, CA. Despite the injury, Tetz hasn’t lost sight of his goal – to become PBR Canada’s first back-to-back champion.

The PBR Mazergroup Chute Out had added significance in 2025, as the third of 10 stops across the country in the 10th season of the nation’s premier bull riding spectacle. Based on fan knowledge, participation and excitement, the words, “are you ready” captivate the sport of bull riding second to none.

British Columbia’s Jake Gardner went a perfect 3-for-3 to win the lone PBR Canada Cup Series event in Manitoba

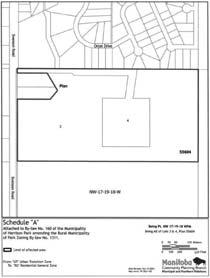
Municipality of Harrison Park UNDER THE AUTHORITY OF THE PLANNING ACT NOTICE OF PUBLIC HEARING

On the date and at the time and location shown below, a PUBLIC HEARING will be held to receive representations from any persons who wish to make them in respect to the following matter:

MUNICIPALITY OF HARRISON PARK BY-LAW NO.160 being an AMENDMENT to the THE R.M. OF PARK ZONING BY-LAW 1311, as amended.

HEARING Municipality of Harrison Park

LOCATION: Council Chambers at 43 Gateway Street Onanole, MB R0J 1N0

DATE & TIME: June 25, 2025 at 9:30 a.m

GENERAL INTENT Zoning Map 3 – R.M. of Park - Detail OF BY-LAW Map for Urban Community of Onanole NO. 160: attached to and being part of the Park Zoning By-law No. 1311, is hereby amended in order that lands described as follows:

Lots 3 & 4, Plan 55604, part of the NW 17-19-18 WPM lying east of Svenson Rd. in the Municipality of Harrison Park as shown on the map attached hereto and marked as Appendix “A” of the by-law be re-zoned as follows:

FROM: “UT” – Urban Transition Zone

TO: “RG” – Residential General Zone

FOR INFORMATION Robert Ewashko

CONTACT: Building & Development Officer Municipality of Harrison Park Ph: 204-848-2561 E-mail: robert@harrisonpark.ca A copy of the above proposal and supporting material may be inspected at the location noted above during normal office hours, Monday to Friday. Copies may be made and extracts taken therefrom, upon request.

IN HIS HANDS

DARRELL NESBITT/SOUTH MOUNTAIN PRESS

Washboard gravel roads and pothole filled highway sections are always a top priority in terms of coffee shop talk. With the cold temperatures giving away to the heat, municipal public work employees including this Municipality of Harrison Park staff member, are found with a shovel full of cold patch asphalt in their hands filling small potholes on town streets. The size and quantity of trucks travelling highways and other paved sections today are causing havoc due to their weight and the condition of highways.

How to choose and grow the best perennials - part 1

As I am eagerly awaiting some new perennials for my garden, I thought that sharing why these plants are going to become part of my garden was a great idea for a series of articles. I am always encouraging gardeners to grow perennials as they require less overall work, enhance biodiversity and provide a unique blend of season-long interest. Perennials are a one-time investment, which is always a benefit to my bank account. As long as you do a great job of the initial work amending your soil – that work is forever done if you also follow sustainable landscaping practices. As they are always present, they change your garden chores a bit but their roots are always in the ground so erosion is never a concern.

First and foremost, I thought it was important to ensure that throughout the entire growing season I would have colour in my garden. Having colour in the garden from April to October is not only beautiful but also helps some of our smaller critters the opportunity to thrive for as long as possible. I love to plant for the bees, the butterflies and the hummingbirds too and care enough to ensure they have a selection of food and pollen in the very early spring and as far into the fall as possible. Learning about what you grow, their season of bloom and all the other interesting cultural facts is exciting too!

One of the biggest challenges when growing perennials is to successfully have colour in your garden throughout the growing season. This is due to many perennials having a short season of bloom. Also, as we live with weather that is not always the same every year, this blooming time will change from year to year. Thus, a great solution to guarantee colour is to at least grow some perennials with a longer bloom time.

The other thing that I insist on with perennials is to only grow those that behave. Just because you grow perennials that give colour throughout the growing season does not mean that you need to be out in the garden day and night keeping it looking beautiful. Gardening with the philosophy of live and let live is possible but only if you have plants that respect this philosophy. I prefer not to be a slave to any living thing so the last thing that I want to add into my low-maintenance garden

Patricia Hanbidge GARDENING

is a perennial that does not stay where it was planted. These perennials that spread everywhere are weeds and thus do not have a place in my garden.

A selection of Veronica spicata – also known as Speedwell – are some wellbehaved and simply beautiful perennials that are wellbehaved and give a long period of colour. They are very attractive to butterflies and bees. Please read on for particulars on each cultivar. Please note that all are upright, clump forming perennials with dense slender spikes of star-shaped flowers that are attractive to both butterflies and bees. The blooms open from the base upwards and do well in full sun to partial shade.

V. spicata ‘Red Fox’ has vibrant fuchsia-pink flowers from mid to late summer, is a bushy, upright and clump forming perennial which is 12 to 16 inches (30-40cm) tall and spreads 12 to 14 inches (30-35 cm).

V. spicata ‘Royal Candles’ is a favourite Speedwell of many perennial gardeners. The slender spikes of star-shaped deep bluepurple flowers show from early to late summer. They are about the same height and spread as ‘Red Fox’ Speedwell.

V. spicata ‘Sunny Border Blue’ has a bushy clump of crinkled dark green leaves with spikes of deep violetblue flowers for many weeks. It will reach a height of 12 to 18 inches (30-45 cm) and spreads about the same as its height. It was the Perennial Plant of the Year in 1993. Watch for the continuation of this series of articles devoted to the best perennials to include in your garden!

Hanbidge is the Lead Horticulturist with Orchid Horticulture. Find us at www.orchidhort.com; by email at growyourfuture@gmail. com or on facebook @orchidhort.

Contending with severe obesity

Q: I am severely obese, and my doctor says I have to take immediate actions –medical and personal – or really bad things will happen. Just reaching out for some information and help. –Susie P., Harrisburg, PA

A: Severe obesity further increases the risk of obesityrelated complications, such as coronary heart disease, stroke, kidney disease, joint problems, certain cancers, dementia, diabetes and depression. It also increases the chance of respiratory problems, asthma, and damage to your lymphatic system, which is essential for transporting lipids, immune cells and fluids, as well as fat absorption, immune regulation, clearance of inflammatory cytokines, and cholesterol metabolism. Studies that designate severe obesity as a BMI over 40 say it can rob you of 14 years of longevity. Unfortunately, a new study in The Lancet Diabetes & Endocrinology reveals that the number of folks in the U.S. who have a BMI of more than 60 (yes 60!) has exploded by 210% in the past two decades. And while it’s relatively few folks, it has happened as the number of folks with a healthy weight decreased from around 33% to less than 27% and many people migrated from overweight to obese.

Severe obesity calls for immediate action to reduce the risks. However, each person’s ability to deal with anesthesia, surgical recovery and weight loss medications needs to be evaluated before bariatric surgery or use of the new GPL-1s is attempted. Counseling to support changes in dietary habits and to increase physical activity is also essential. Note:

Combining GLP-1s with strength training is a powerful one-two punch against obesity. Talk with your doctor about all these issues and work together to improve your todays and tomorrows.

I know you can do this with the support of your posse, your medical team, and the information offered in my free newsletter at LongevityPlaybook.com.

Q: What’s the latest about how I can slow down my aging process? – Charles R., Santa Barbara, CA

A: There’s a trio of amazing breakthroughs in the understanding of how to make old cells young again. They work by banishing dying and dead cells, increasing the body’s ability to repair damaged cells, and clearing out old proteins that cause inflammation. Some applications you can access today –some are coming down the pike.

Seno-Rejuvenators, also called senotherapeutics, are drugs that eliminate senescent – AKA “aging” – cells that usher in wrinkles on the outside and inflammation and disease on the inside.

Studies indicate senorejuvenators extend stem

cells’ lifespan, can reverse cardiovascular disease, and increase insulin sensitivity. In lab mice, they have even tamped down tau protein and amyloid tangles associated with Alzheimer’s. Several clinical trials are happening now, so stay tuned to see how seno-rejuvenators actually work in humans.

Telomere-Extenders are designed to protect and increase the number of these protective caps on the ends of your chromosomes. This is important because they shorten every time a cell di-

vides and eventually the cell they’re in stops dividing or dies – speeding up aging. Researchers can now turn back your internal aging clock by lengthening telomeres so each cell is years younger than it would otherwise be.

More to come.

Therapeutic Plasma Exchange (TPE) is an approved treatment for autoimmune conditions such as myasthenia gravis and neurological conditions such as multiple sclerosis. TPE is done by replacing plasma in your blood, which contains

, CPA,

Dauphin – 15-1st Avenue S.W.

disease-promoting proteins, with saline and fresh albumin and it works to fight aging by causing your body to make new, “younger,” proteins.

You can also fight off aging with stress management, optimal nutrition, regular exercise, interaction with your posse, cultivating a sense of purpose – and taking supplements, like bovine colostrum and a daily multivitamin and mineral (half in the morning and half in the evening). For more amazing anti-aging techniques, read

“The Great Age Reboot.” Health pioneer Michael Roizen, M.D., is chief wellness officer emeritus at the Cleveland Clinic and author of four No. 1 New York Times bestsellers. Check out his latest, “The Great Age Reboot: Cracking the Longevity Code for a Younger Tomorrow,” and find out more at www.longevityplaybook.com. Email your health and wellness questions to Dr. Mike at questions@longevityplaybook. com.

DEADLINE: Tuesday at 12:00 Noon

Place your Classified Advertisement by Phone, Fax, Mail or E-mail Ph: 204-759-2644 Ext. 1 Fax: 204-759-2521 E-mail: smpclassified@mymts.net

Mail: Nesbitt Publishing Ltd., Box 160, Shoal Lake, MB, R0J 1Z0

Reach the entire Province: $189.00 (49 weekly papers) Westman or Eastman regions: $119.00

OBITUARIES

BRASCHUK: It is with much sadness that we announce the passing of John (Gee Gee) Nestor Braschuk, a cherished husband, father, grandfather, great grandfather and friend who passed away peacefully on April 1, 2025 at the age of 82 with family by his side. John was born on Oct. 19, 1942, in Erickson, MB to John and Teenie Braschuk. He grew up on a farm in Rackham, MB where he attended a one room schoolhouse until Grade 9. He spoke often of the thousands of straps he received for the smallest of things from his teacher Frances. His education continued in Sandy Lake for Grade 10 where he travelled by car to attend. John actively participated in sports often telling stories of how fast he could run, beating many at field day competitions, how he caught baseballs without gloves and hit many home runs. John was very active in helping on the family farm where he resided with his parents and six siblings. Times were very tough and this meant hard work was required to feed the family. They had crops to tend to, cows to feed, gardens to harvest, all while living in a very small home with sparse walls where he spoke of the wind blowing through, no plumbing or electricity and a wood stove. He spoke of endless tales of shenanigans he and his siblings would get into. John had a lasting love for the family horses and even remembered their names in his final days. He often worked for the neighbours for 50 cents per hour to help with the family expenses. John took up hunting, fishing and trapping while growing up on the farm. At the age of 16 he left the farm and moved to Winnipeg where he worked at Brown Brothers service station. He then worked at Carter Motors as a mechanic apprentice while attending Red River Community College. Later he moved on to Birchwood Motors as a licensed mechanic and eventually shop foreman. His last position in Winnipeg as shop foreman was with Southwood Chevrolet after Bob Chipman, the owner of Birchwood, purchased the company. It was in Winnipeg that he met Paula who was his neighbour where he lived with Pete Andrews in June of 1962. They were married on Oct. 26, 1963 and later welcomed their first son and carried on the tradition of naming him John Jr. (the third III) and later welcomed son Craig. They purchased their first home on Jefferson Avenue where Tracey eventually was born. When the family outgrew the house

they moved to the other end of Winnipeg and purchased a larger home on Cathcart Avenue. John’s evenings were often spent in the garage working on side mechanic jobs. On July 1, 1977, John and Paula took possession of the Gold Nugget in Erickson, MB. Leaving his Southwood family was very difficult for John and his boss tried very hard to convince him to stay. Eventually they wished him well and gifted him a new 22 gun to use in his free time. John and Paula worked hard in the “Nugget” and it evolved into different services all while John worked on vehicles in the garage with his faithful labs by his side. He loved his dogs, always had one wherever he went and were always the best hunting dogs. At the age of 50, he accepted the position of garage supervisor for Parks Canada and worked there for 15 years before retiring. He then returned to the Nugget and continued working in the business in all areas until it was sold in April 2015. John was very much an outdoorsman. There was no hunting or fishing activity he didn’t partake in. His passion ran deep and many tales were told. He especially loved moose hunting and could call them out of the bush like no other. John was so grateful and respectful to the many landowners that gave him permission to hunt. His favourite story was the one where he called a moose that came right to Paula’s truck window. John impressed and even taught the Care Home staff how to call moose when he resided there. He was often seen at the window looking across for bears and handing his binoculars to the staff to see what he could without them. He made several trips to northern communities hunting with family and friends tagging along for the experience. He kept the family fed throughout the years and they never went hungry. He also provided for many seniors in the community throughout the years. You knew fall was here because John could not be found as he would be out with his sons and grandsons, whom he proudly passed his love for hunting down to. His outdoor passion also extended to endless evenings spent in the bush picking berries, mushrooms, finding dia-

Classified Advertising Rates

Minimum 25 words $7.00, additional words 25¢ (plus GST) Extra weeks are one-half original cost • Not responsible for errors in handwritten submissions Special rate for Obituaries, Cards of Thanks, In Memoriams

Minimum 25 words $7.00, additional words 20¢ (plus GST) • It is preferred if Obituaries can be emailed. Any obituary copy that is typeset by our staff will be subject to proof approval prior to

mond willow, picking special rocks for Tracey or in the massive garden they kept. Nothing made John more proud, then showing the customers the vegetables he grew or taking the grandkids to pick peas. His green thumb extended to the apple trees in the backyard that again were proudly shared with many people and loved by all. The grand and great grandkids couldn’t wait to run through the garden eating or climbing the ladder to pick apples. John was a gentle, unassuming man with a sly sense of humour. A good week for John would include coffee in the Nugget with the crew, solving a mechanic problem that had been puzzling him, weeding in his garden, picking berries, evening fishing on Jackfish Lake or simply going for a drive in the county. Paula’s best dates were those where he took her for a ride to the dump! John was notoriously frugal and the family teased him for the need of WD40 when opening his wallet. However, he was graciously generous with others, he would not hesitate to hand out to those in need and specifically held a very special soft spot for Lorraine, the Brandon Walmart greeter, he loved their visits. He loved all animals and fondly called every pup he saw Skippy. Babies loved him and seniors would sit chatting at the Nugget for hours having coffee. He was fondly remembered by all his nieces and nephews for having “garbage” in his pockets when visiting – candy that Paula always packed so he

could hand it out. He loved Bobby Orr and the Winnipeg Jets and was a faithful fan to the very end. John was inviting and easy going. He had a young-at-heart quality. You could get a flavour of this as he would carry on a conversation or tell stories, seated in his chair at the Nugget, in his house or the picnic table every Sunday at The Boardwalk where the family gathered weekly for ice cream. John was known for his unwavering kindness, his infectious smile, and his ability to make everyone feel welcome. He was a devoted husband to his wife, Paula, for 61 years, and a loving father to his children, John Jr., Craig and Tracey. John was a passionate business owner, talented mechanic and avid sportsman. His spare time was “always” spent hunting, fishing or simply driving checking fields and looking for animals. His memory will be forever etched in the hearts of those who knew him. John is survived by his wife, Paula; his children, John (Kim), Craig (Katherine) and Tracey (Barry); grandchildren, Melissa, Johnny Jr., Travis, Tanner, Leah, Katie and Adam; 13 great grandchildren; brother Dennis Braschuk (Phyllis); sisters Eleanor Navalkoski (Mitchell), Sonia Spaller (John), Iris Marschichuk; sister-in-law Alma Braschuk; several relatives from Paula’s side and numerous nieces and nephews. John was predeceased by his parents, Teenie and John Braschuk, sister Gloria, brother Ernie and son-in-law Dave

HELP WANTED

has immediate openings for the following positions:

■ Light Duty Mechanic

We are looking to hire a full-time light duty mechanic. Duties to include, but not limited to: general mechanical repairs, oil changes, install and balance tires, perform tire rotations, etc. Individual must be organized, highly motivated, and have a keen eye for detail. Individual should have excellent communication and people skills and take pride in delivering outstanding customer service and quality workmanship.

■ Front Office Staff

We are looking to fill a full-time front office staff position. Duties to include, but not limited to: answering phones, setting up appointments, invoicing, parts orders. Individual should have excellent communication and people skills and take pride in delivering outstanding customer service. General office experience and automotive knowledge would be an asset.

Onsite training will be provided.

Drop off resumes:

Shoal Lake Rad & Glass, 316 Elm St., Shoal Lake, MB

Email: shoallakeradglass@gmail.com

Phone: 204-759-2251

We appreciate your interest but only those selected for an interview will be contacted.

Tyler. There are no plans for a service at this time. A private family burial will take place at a later date. In lieu of flowers, the family requests that donations can be made to the Erickson Personal Care Home – Activity Department in John’s memory as this was where he spent his final months and had many smiles and

at www.raesfs.ca. Rae’s Funeral Service of Erickson are in care of arrangements.

The Rolling River School Division is selling by tender, the following two buildings in Minnedosa, MB, that are surplus to its’ needs.

Transportation Garage and Office Building 154 Main Street South, Minnedosa, MB.

The building is 11,306 square feet, two stories plus mezzanine, slab on grade and has a fenced compound. The parcel has frontage along Main Street South of 252.0’ and depth of 132.0’.

Maintenance Shop / Armory Building 21-1st Avenue SW, Minnedosa, MB

The building was originally an armory and is 10,106 square feet, two stories plus mezzanine. The parcel has frontage along 1st Avenue SW of 83.65’ and depth of 265’.

Both properties are zoned CC – Commercial Central Zone.

As per provincial guidelines, reasonable consideration will be extended to proposals / bids whose objectives are to meet educational, recreational, or cultural needs within the community.

The properties are to be sold as is, where is, with the purchaser to assume any and all legal costs incurred.

The highest or any tender is not necessarily accepted. Tenders close at 12:00 Noon, Sept. 2, 2025.

Visit https://www.rrsd.mb.ca/division/tenders for property profile information / summary documents and the process to view the properties and submit a bid.

laughs. His friends at the PCH were very kind and he would love to know their activities will continue. Condolences may be shared with the family
South Mountain Press

Neepawa couple wins Community Leadership Award

Neepawa: The Banner & Press – Gary and Marsha Forgue of Neepawa captured the Association of Manitoba Municipalities Community Leadership Award for their efforts in founding the Dream Ride, which helps to raise money to make dreams come true for Westman children facing life-threatening illnesses –a cause near and dear to their hearts. Dreams fulfilled have run the spectrum from visiting Japan, to meeting pop stars, to princess makeovers.

Moosomin: The WorldSpectator – Moosomin is welcoming a new junior team for the 2025-26 hockey season. The Moosomin Steelhawks will be joining the Prairie Junior Hockey League in the Junior B classification. The squad will serve as the sixth team in Southwest Saskatchewan. Franchise owner, Blake Martyniuk, of Saskatoon is looking forward to the team’s upcoming season in Moosomin.

Virden: The EmpireAdvance – They may be young, however, that hasn’t stopped Oak Lake brothers, Denver (16) and Spencer (14)

COMING EVENTS

St. Anthony Church Parish will hold a yearly service on Sunday, June 8, 1:00 p.m., with pot luck lunch to follow.

It’s hard to believe but not everyone has Facebook. This ad you’re reading costs $13.50 and reaches over 5 communities and 3,000 readers every week. And next week it will be half price. Planning an event? If you tell them they WILL come. Call Michelle at 204759-2644 ext. 1.

ARTICLES FOR SALE

Need Class 1 drivers? Spring hiring? Selling something? Jump on our great prices and start getting responses. Have your blanket

Paper Clips

Gompf of competing against grown men within the category of team roping within the Canadian Cowboys Association (CCA). Rounding out April, the Gompfs who opted to forgo remaining in the junior division, were tied for first in the Rookie of the Year standings. The teenagers will be kept busy, as the Manitoba High School Rodeo Association’s (MHSRA) spring session is now underway, with Gilbert Plains hosting the Junior High Finals from May 30 to June 1, and the community of Virden, noted as cowboy heaven, will hold the High School Rodeo Finals on June 13 to 15. Should you enjoy topnotch rodeo action, be sure to take in a CCA, MHSRA, MRCA, or Heartland sanctioned event.

Moosomin: The WorldSpectator – Two Elkhorn girls, Sara Chant and Shaylee Frattinger, spent approximately two weeks in Zambia, Africa,

classified ads seen in the 31Member Newspapers which are seen in over 368,000+ homes in Manitoba. Please call this newspaper 204-759-2644 to book now or call MCNA at 204-947-1691 for more details or to book ads. MCNA - Manitoba Community Newspapers Association. www.mcna.com

SEED FOR SALE

Forage Seed For Sale: Organic & Conventional: Sweet Clover, Alfalfa, Red Clover, Smooth Brome, Meadow Brome, Crested Wheatgrass, Timothy, etc. Star City, SK. Birch Rose Acres Ltd., 306-9219942.

on a Humanitarian Trip, volunteering at a children’s daycare. The trip was organized through the International Volunteer Headquarters, a volunteer for-profit organization, which does a number of volunteer projects all over the world. The young university students had the option to volunteer with animals, people, the environment, etc. Frattinger’s mother, Terri, was also on the trip as a Health Care volunteer.

Boissevain: The Recorder – As the 25-year time capsule was opened, people in attendance at the Boissevain School on May 3, caught a glimpse into life at the beginning of the millennium. The capsule, actually PVC piping, was filled with clear bags containing different artifacts from the year 1999, with the capsule sealed around New Year’s 2000. The significance of a time capsule is to treasure that moment in time. This one made a big enough impression that the school is preparing another capsule, to be opened in 2050.

Moosomin: The World-

WANTED

Licensed gun dealer looking for firearms in all classes, and anything firearms related. Inheritance assistance provided. Can store handguns during the ban. Call or text Keith 204-471-9015.

PROPERTY FOR SALE

Nice 20-acre retirement or subdividing opportunity 4 miles west of Brandon on paved road. 1,572 sq. ft. home including appliances, wheelchair accessible, one-level, attached garage. Also, additional adjoining subdivided five-acre lot.

Spectator – Thanks to a matching grant, the Town of Esterhazy will see runway and apron revitalization carried out at the community’s airport. Esterhazy will receive $79,500 from the Community Airport Partnership Program, which strives to help communities bolster their local aviation services. The town will contribute the other half for a $159,000 total project cost.

Baldur-Glenboro: The Gazette – The Prairie Canada Carver’s Association honoured Peter Sawatzky of Glenboro at the competition’s banquet last month in Winnipeg. Sawatzky, a main stay in the Manitoba carving community for over five decades was presented the Award of Excellence, for excellence and achievement in advancing the art of bird carving in the province. Today, he is a wellestablished and highly regarded sculptor, whose bronze works appear in numerous parks and public areas, and are prize possessions of private collectors around the world. The Peter Sawatzky Sculpture Park at the River-

Immediate possession, private sale. $750,000. Call 1-204-7230083 for appointment to view, anytime.

NOTICES

Private mortgage lender. All real estate types considered. No credit checks done. Deal direct with lender and get quick approval. Toll free 1-866-405-1228 www.firstand secondmortgages.ca

Invest in advertising. The cost of advertising is small when you think of the number of people who will potentially attend your event simply because they saw your ad in the newspaper. Call 204-759-2644.

side Discovery Centre in Brandon will be unveiled this summer.

Killarney: The Guide –Cody Fitzpatrick of Glen Ewen, SK kept his streak alive at the Rippin’ & Roarin’ Bull Riding indoor event in Killarney, winning his fourth title as the bull riding champion.

From a bronc standpoint, Tyler Winters of the neighbouring town of Boissevain, claimed the champion buckle.

Even though attendance was down thanks in part to the wonderful seeding weather, organizers were pleased of the crowd of around 700 people.

Whitewood: Grasslands

News – Speaker and workshop facilitator, Peter Kenyon, explained that community building is about finding out what people care about at an event put forth by the Saskatchewan Economic Development Association on May 6 in Whitewood. Throughout the workshop, Kenyon, who has over 35 years in the field of community and economic transformation, gave tips, told stories, and held discussions on community development strategies.

Visit www.gartonsauction.com for equipment details, pictures, and bidding.

FOR INFO OR VIEWING: Previewing Friday-Sunday, June 7-9 or call Bruce and Betty-Anne at 204-848-2107 or cell 204-476-6500.

VEHICLES, BOATS, TRAILERS, PERSONAL EQUIPMENT: 2 1984 Dodge conversion safety vans-see details; Chrysler 18’ sailboat/trailer; Grumman aluminum canoe; boat gear; Norbert gooseneck trailer, 7’x20’ Load Trail car hauler, 8’x20’ Fortress 2000 3-wheel electric scooter; electric wheel chair lift, wheel chair, exercise bike; FARM/RANCH AND HORSE EQUIPMENT: Versatile 400 18’ SP swather, Intl 8’ cultivator, plow; harrows, stone picker; MF square baler; 15-bale stooker; round bale feeders, corral panels; Western Rawhide saddles, silver decorated Mexican saddle/bridle, Mexican roping saddle, saddle pads, blankets, decorations, harness and other horse care items; horse sleigh, wagon; YARD, GARDEN, RECREATION: lumber, fence posts/wire, deck posts, spindles; garden equipment, tomato cages, pea sheller/slide; pull golf carts, sleigh/toboggan, pet supplies, rabbit enclosure; TOOLS AND SHOP: small tools, shop supplies; air compressor, motors; welding tables, mechanic’s creeper; saws, ropes, post hole auger, etc; HOUSEHOLD, OTHER ITEMS: doors, bathroom sink, laundry sink/cabinet, claw-foot cast iron bathtub; license plates, barn lanterns, and much more!

BID NOW AT WWW.GARTONSAUCTION.COM

Turn static files into dynamic content formats.

Create a flipbook
Issuu converts static files into: digital portfolios, online yearbooks, online catalogs, digital photo albums and more. Sign up and create your flipbook.
SMP - May 30, 2025 by South Mountain Press - Issuu