Barnhardt Neighborhood District Plan

Page 1

Neighborhood District BARNHARDT

Final Draft, 3.20.24
TEMPLE, TEXAS TABLE OF CONTENTS 1 INTRODUCTION 2 NEIGHBORHOOD OVERVIEW 3 PURPOSE AND MISSION 4 PLANNING BACKGROUND 5 THE STORY 6 THE WHAT 7 THE WHY 8 THE HOW 9 C OMMUNITY INPUT & BACKGROUND 10 DEMOGRAPHIC INFORMATION 11 DEMOGRAPHIC TAKEAWAYS 12 EVENT PHOTOS 13 SUR VEY RESULTS 14 SUR VEY TAKEAWAYS 15 INVENT ORY & ANALYSIS 16 CITY CONTEXT 17 PLAN AREA MAP 18 PHOT O INVENTORY 19 FUTURE DEVELOPMENT PLAN & MAJOR THOROUGHFARE PLAN 20 ZONING 21 PROPER TY CONDITIONS 22 SIDEWALK ANALYSIS 23 OPPOR TUNITIES & CONSTRAINTS 24 C ONCEPT & PLANNING 25 MAJOR THOROUGHFARE RECOMMENDATIONS 26 LITTLE RIVER RD 27 BARNHARDT RD 28 COMMUNITY COLLECTOR 29 NEW NEIGHBORHOOD COLLECTOR 30 NEIGHBORHOOD COLLECTOR ADJACENT TO LINEAR PARK 31 DOGWOOD LANE 32 ENHANCEMENT FOCUS MAP 33 BARNHARDT LINEAR PARK 34 LINEAR PARK 35 BARNHARDT COMMUNITY PARK 36 BARNHARDT PARK 37 ESTATE NEIGHBORHOOD 38 GREEN ACRES 39 COMMERCIAL EDGE 40 NEW NEIGHBORHOOD 41 SCHEMATIC LIGHTING ZONES 42 LIGHTING ZONES 43 NEIGHBORHOOD BRANDING 44 NEIGHBORHOOD IDENTITY 45 RECOMMENDATIONS
ACTION PLAN
CAPITAL IMPROVEMENT PLAN
CAPITAL PROJECTS MAP 49 WATER LINES EXHIBIT 50 WASTEWATER LINES EXHIBIT FINAL DRAFT, 03.20.24
46
47
48

Introduction

BARNHARDT 1
FINAL DRAFT, 03.20.24

Barnhardt Neighborhood

The Barnhardt Neighborhood District marks the far southwest corner of the Temple community. The vast majority of this neighborhood is comprised of farmland, creek frontage, and wooded areas. However, with the addition of a new elementary school and a residential development containing more than 200 new homes, the landscape is changing rapidly. Even though the neighborhood is evolving quickly, the main components of the neighborhood still include grazing livestock. Long-time residents understand the importance of the land and our connection to it.

The Green Acres Subdivision illustrates the connection to the land beautifully. It is situated just south of Loop 363 in the northern part of the district. Many of the Green Acres residents have lived in the area for decades. They enjoy cool mornings on the back porch while watching wildlife and sipping coffee. The thickly wooded areas along the creek are alive with a variety of critters both large and small. All are welcomed, protected, and encouraged. Growth is inevitable, but the Barnhardt Neighborhood District will demonstrate the best balance of conservation, preservation, and development. The land and its inhabitants are vitally important to our future as a community, especially here.

TEMPLE, TEXAS 2 NEIGHBORHOOD OVERVIEW
FINAL DRAFT, 03.20.24

PURPOSE

The City of Temple is dedicated to fostering cohesive, distinct, vibrant, safe and attractive neighborhoods where citizens take pride and are engaged with their community. These objectives will be accomplished through the work of the City’s Neighborhood Team.

Through a process of collaboration and communication, the City’s Neighborhood Team will strive to ensure continued improvements to Temple’s neighborhoods, as well as access to a wide variety of housing types that are safe, accessible and affordable.

TRANSFORM TEMPLE HOUSING & COMMUNITY DEVELOPMENT

NEIGHBORHOOD PLANNING

YOUR NEIGHBORHOOD TEAM

MISSION

Working alongside residents in each neighborhood, our mission is to identify neighborhood concerns, values, vision and goals. Through this process, the City will develop long-range plans for each Neighborhood Planning District to include:

• City Capital Improvement Projects

• Private Investment & Economic Development Opportunities

• Community Development Block Grant Projects

A strong emphasis will be placed on improving the quality of life in each neighborhood while increasing access to affordable housing.

BARNHARDT 3 Crestview Ferguson Park East Downs Jackson Park Bellaire Garden Historic Downtown TempleCityLimits TempleCityLimits TMED Temple Heights Northwest Hills Western Hills Magnolia Hickory Heights Canyon Creek El Paseo Sage Meadows Oaks at Westwood Bird Creek Barnhardt Woodlawn Central Las Cruces Midtown 35 35 317 TEXAS 363 TEXAS 363 TEXAS 95 TEXAS 36 TEXAS 190 US
PURPOSE AND MISSION FINAL DRAFT, 03.20.24

PLANNING BACKGROUND

The Barnhardt Neighborhood is one of 24 planning districts within the City of Temple. Each district plan has a similar planning process that is intended to complement the City’s Comprehensive Plan with a more focused effort at the neighborhood level. This plan looks at the existing conditions and engages residents to derive genuine information and direction from the neighborhood. While using the best practices for planning, the results of each plan define specific recommendations that are unique to each district.

TEMPLE, TEXAS 4 PLANNING BACKGROUND
FINAL DRAFT, 03.20.24

The Story

BARNHARDT 5
FINAL DRAFT, 03.20.24

BARNHARDT NEIGHBORHOOD IS...

With fields for livestock grazing and rows of crops, the Barnhardt Neighborhood’s character is associated with many of the attributes of a rural landscape. For the time being these characteristics are a major contributing factor of the neighborhood’s charm.

PASTORAL POTENTIAL THE FRINGE

The Barnhardt Neighborhood is located in the most southeastern extent of the City of Temple. This area finds itself in a transition from the country life to that of the bustling city. With fields giving way to new housing, much of the supporting infrastructure has yet to catch up, making residents feel as if they are on fringe of urbanization.

There is still time to direct the neighborhood’s future built environment and protect aspects of the area’s rural landscape. Starting with a dry creek that swells during storm events with its flow traveling north to south across the entirety of the plan area. This corridor has the potential to provide a unifying element that connects the old to the new and past to the present.

THREATENED

While once a quiet and disconnected area, the Barnhardt Neighborhood is now under the pressure from development. This pressure has the potential to steamroll the neighborhood until its completely unrecognizable from its current state. Efforts are necessary to promote a future that blends existing character with expected growth.

TEMPLE, TEXAS 6
THE WHAT
FINAL DRAFT, 03.20.24

CREATE SENSE OF COMMUNITY

PRESERVE WHAT IS VALUED

ORDERLY GROWTH & CONNECTIVITY

ESTABLISH LEGACY

BARNHARDT 7 THE WHY
FINAL DRAFT, 03.20.24

• Introduce park and open space elements to the neighborhood creating recreational and leisure opportunities within the plan area.

• Encourage new retail, dining, and neighborhood serving commercial to be conveniently located within the plan area and along the periphery of the plan area.

• Encourage the implementation of character elements in the landscape along the periphery of the plan area to reinforce the neighborhood identity for Barnhardt.

• Establish a hard southern boundary by planning for a future community collector along the southern limits of the plan area to serve new development by connecting Little River Road and State Highway 95.

CREATE NEIGHBORHOOD DESTINATIONS DEFINE NEIGHBORHOOD BOUNDARY GUIDE GROWTH

• Coordinate with TISD on the location of infrastructure to promote accessibility to the neighborhood’s schools.

• Establish vehicular and pedestrian corridors to ensure efficient internal circulation within the neighborhood.

• Encourage efforts to maintain estate style residential along Dogwood Lane and Sycamore Street.

STRATEGIC CONSIDERATIONS

This planning effort is intended to compliment the focus areas and initiatives laid forth in Temple By Design, the 2020 Comprehensive Master Plan. The strategic considerations identified above highlight key features of the plan area that are intended to help guide unique recommendations for the Barnhardt Neighborhood. These resulting recommendations will be compiled into an Action Plan which include references to the specific Comprehensive Plan Initiatives they are intending to help realize. This planning effort includes a public engagement and visioning process to determine recommendations which ultimately lead to a series of corresponding capital improvement projects.

TEMPLE, TEXAS 8 THE HOW
FINAL DRAFT, 03.20.24

Community Input & Background

BARNHARDT 9
FINAL DRAFT, 03.20.24

DEMOGRAPHIC PROFILE

A look into the demographics helps to frame the characteristics of the plan area’s population. This information is used to guide recommendations for policies and changes to the built environment. This information is derived from the American Community Survey 2017-2021 5-year using Esri’s Community Analyst software that aggregates multiple block groups that make up the plan area. This gives us the most accurate information for the defined area and helps tell the story of the plan area demographics. Note that these demographics do not include development constructed after 2021.

TEMPLE, TEXAS 10 DEMOGRAPHIC INFORMATION
FINAL DRAFT, 03.20.24

PUBLIC ENGAGEMENT

The Neighborhood Planning Team was challenged to develop a community engagement method to obtain crucial feedback from the residents of the Barnhardt Neighborhood. The City staff conducted events in an effort to engage plan area residents and inform them about the planning effort. As part of that outreach, residents were invited to a public open house where input was solicited, as well as a longer online survey. The results of the outreach efforts are highlighted on the following pages.

ONLINE SURVEY RESULTS

What is the biggest strength of the plan area?

area open developmentneighborspeople land nice good new Temple eachother space animals

What is the biggest weakness of the plan area?

City traffic roads 1952 watching privacy houses across street friends help lived 30+ years everyone acreage neighborhood quiet nature since idea just work Outside Easy get town Community still rural ish shopping centers well developed congested busy crowded heavy comfy nine minimal looks like live developments green see room grow develop access main amenities peaceful family farther school coming Location Clean watch neighborsdevelopment people land new traffic Roadsneighborhood shopping like see school coming clean road lots dont lack happening choice blackland shifts Bad alongrestaurants fast 95 questions feels things leave alone trash walkability gatherings Dogwood alot flood zones snakes scorpions goes noise pollution condition loud taking pecan trees isolated residents feel aquisition construction speeding intersection

Barnhardt Hwy Narrow rods Knowledge Streets stores kinds animal control going concern mowing roadside needs retail services none dog parks let dogs go yard poop HOAs local business much look crap cars drive mailbox gets hit Sewer Line Sidewalks enough police

FINAL DRAFT, 03.20.24

What role best describes your relationship with the Barnhardt Neighborhood District?

What transportation and pedestrian improvements would you like to see in your neighborhood?

Please select the future housing needs in the

Neighborhood District plan area.

Are there any areas in the Barnhardt Neighborhood District that experience frequent drainage issues?

What general improvements would you like to see in the Barnhardt Neighborhood?

Rate the following land uses on their importance to the Barnhardt Neighborhood District (1–unimportant, 5 – most important).

Restaurants/ Bars 1 2 4 3 5 Hotel/ AirB&B/B&B 1 2 4 3 5 Retail/Shopping 1 2 4 3 5 Entertainment 1 2 4 3 5 Granny Flat/ Garage Apartment 1 2 4 3 5 Government 1 2 4 3 5 Professional Offices 1 2 4 3 5 Neighborhood Services 1 2 4 3 5 Residential 1 2 4 3 5
Work and Live in the neighborhood Temple resident or visitor that frequents the Neighborhood Work/ Own/ Lease Business in the Neighborhood Resident of the Neighborhood 45% 38% 17% 01530456075 What are the
that
neighborhood? 7 7 12 14 19 26 29 29 52 Substandard Driveways/Carport Conditions Fence Condition Trash Bins Graffiti Tall Grass Sidewalk Condition Vacant/Substandard Buildings Junk/Abandoned Vehicles Illegal Dumping/Litter 020406080100 18 7 44 Not sure housing should be a priority Single family homes Revitalize existing housing Duplexes/Triplexes Accesory Dwelling Units Condominium apartments (ownership) Apartments (rental) 40 16 2 4
Code Compliance issues
affect your
Barnhardt
Public Art More Retail Sidewalks/ Trails Building Façade Improvements Trash Receptacle Screening Outdoor Dining Flower Beds/Garden 16 Signage/Wayfinding 19 19 19 26 35 58 42 0153045607590 Which of the following modes of transportation would you or do you use as an alternative to personal vehicle trips in Temple? 19 24 29 31 020406080100 Bicycle Walk Carpool Rideshare/Taxi The HOP 33 29 91 18 30 47 62 11 Parks or other Recreation Shopping Work School Place of Worship Visit Neighborhood to Walk/Exercise Visit Friends What are the key destinations or activities you frequent in the Barnhardt Neighborhood District? 0 40 20 6080100 25 18 18 17 11 11 30 39 43 57 7 ADA Accessibility Curb and Gutter Bike Lanes Sidewalks Landscape/Street Trees Directional Signage Regional Multi-use Trail Sponsored Courtesy (Fixed Route) Shuttle Scooter / Bike Share Street Lights Bus Stops 0 3015 45607590
Blackland Along 95trash DogwoodintersectionBarnhardt Hwy loop creek house eastRd 36 abandoned drainage behind old crossing west part Subdivision Anywhere side Temple BARNHARDT 13 SURVEY RESULTS FINAL DRAFT, 03.20.24

Rank your preference of the following safety measures.

Increased Police Patrols

More Pedestrian Lighting

Rate the following on City Performance (1–Very Unsatified, 5 – Very Satified).

Public Safety/Animal Control

Rate the following on Importance (1–Very Unimportant, 5 – Very Important).

Improved Crosswalks

Ineffective Somewhat Ineffective Somewhat Effective Very Effective Neither Effective or Ineffective

Ineffective Somewhat Ineffective Neither Effective or Ineffective Somewhat Effective Very Effective

What businesses or services are missing from the Barnhardt Neighobrhood?

food walking trails restaurants nothing away restaurant park fire hydrant Dogwood Lane residences close five minutes miles leave neighborhood alone much right now Sewage Fast activities Pluckers

stores

near entertainmenteverything

Ineffective Somewhat Ineffective Neither Effective or Ineffective Somewhat Effective Very Effective Traffic Safety/ Calming

Ineffective Somewhat Ineffective Neither Effective or Ineffective Somewhat Effective Very Effective

What additional types of public space or parks amenity for leisure and recreation would you like to see in the Barnhardt Neighborhood District Plan?

Code Enforcement Parks/Open Space Trails/Sidewalks

Street Conditions Vehicle Traffic Control

Utilities

What additional parks and open space elements would you like to see in the neighoborhood?

Code Enforcement

Conditions Vehicle Traffic Control

Street Trees/Beautification

0153045607590

PUBLIC SURVEY TAKEAWAYS

The following are a few summary conclusions derived from reviewing the online survey responses:

• The residents of the Barnhardt Neighborhood believe that the strengths of the plan area are its neighbors and people, and the weaknesses are the roads and traffic.

• Most residents said that if they used an alternative form of transportation they would prefer to bike, walk, or carpool.

• The transportation and pedestrian improvements that the residents want to see are more sidewalks, streetlights, and bike lanes which would then satisfy their want for more exercise activities.

• The residents of the neighborhood expressed their desire for more entertainment and restaurants.

1 2 4 3 5 1 2 4 3 5 1 2 4 3 5 1 2 4 3 5 1 2 4 3 5 1 2 4 3 5 1 2 4 3 5 1 2 4 3 5 1 2 4 3 5 1 2 4 3 5 1 2 4 3 5 1 2 4 3 5 1 2 4 3 5 1 2 4 3 5 1 2 4 3 5 1 2 4 3 5 1 2 4 3 5 1 2 4 3 5
Public Safety/Animal Control
Parks/Open
Street
Water/Sewer
Drainage
Space Trails/Sidewalks Street Trees/Beautification
Utilities
Water/Sewer
Drainage
45 48 48 Improved Connections to South Temple Community Park Additional Neighborhood Park Space Improved Connections to a Regional Trail System
bus stopsshoppingrestaurants rec center pool services places eat running dog kids grocery store local playgrounds better roads kidsfamily Sewer need shopping centers walking trails nothing park rec pool playgrounds need parks nonebike something district paths gym needed maybe new residents want happy school built quiet nice area hiking teens get involved send bums bell county access utilization extra space workout pools sidewalks TEMPLE, TEXAS 14 SURVEY TAKEAWAYS
FINAL DRAFT, 03.20.24

Inventory & Analysis

BARNHARDT 15
FINAL DRAFT, 03.20.24

This exhibit provides a regional context for the plan area as well as important destinations such as schools, grocery, and parks & open space.

TEMPLE, TEXAS 16 CITY CONTEXT
FINAL DRAFT, 03.20.24 0’ 500’ 1000’ 2000’

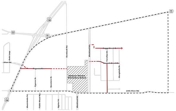
This

BARNHARDT 17 PLAN AREA MAP
FINAL DRAFT, 03.20.24 0’ 125’ 250’ 500’
exhibit shows the plan area boundaries and important points of interest.

PHOTO INVENTORY

The images displayed are taken from the Barnhardt Neighborhood plan area. These images assist in providing context to the character of the neighborhood’s built environment. Images were selected to show the neighborhood’s assets, concerns, opportunities, conditions, etc.

Barnhardt Rd. Alton Rd. Little River Rd. Blackland Rd. Yarrelton Dr. Fiddle Wood Wy. Black Kettle Trl. Oglala Trl. Dade Loop Dogwood Ln. Westphalia Dr. Boggy Creek Dr. Blackland Rd. 95 TEXAS 190 US 363 TEXAS Cypress St. Sycamore St. 95 TEXAS xx Photo Inventory Photo View Callout TEMPLE, TEXAS 18 09 07 08 03 01 02 04 05 06 PHOTO INVENTORY 02 04 06
09 01 03 05 07 08 FINAL DRAFT, 03.20.24
BARNHARDT 19 FUTURE DEVELOPMENT PLAN & MAJOR THOROUGHFARE PLAN
FINAL DRAFT, 03.20.24 0’ 125’ 250’ 500’
This exhibit shows the Future Development Plan and Major Thoroughfare Plan for the Barnhardt Neighborhood from the 2020 Comprehensive Plan.
TEMPLE, TEXAS 20 ZONING
FINAL DRAFT, 03.20.24
125’ 250’ 500’
This exhibit shows the location and breakdown for Barnhardt’s zoning.
0’

This exhibit shows the conditions of properties in the neighborhood and provides an overview of residential structure health.

A = Great Shape

B = Minor Cosmetic Repair Needed

C = Major Cosmetic Repair and/or Minor Structural Repair Needed

D = Major Structural Repair Needed

F = Structural Repair Needed Beyond the Worth of the Property and/or Dangerous Structure

For examples of property conditions ratings see Appendix, Property Conditions

BARNHARDT 21 PROPERTY
CONDITIONS
FINAL DRAFT, 03.20.24 0’ 125’ 250’ 500’
TEMPLE, TEXAS 22
SIDEWALK ANALYSIS
FINAL DRAFT, 03.20.24 0’ 125’ 250’ 500’
This exhibit shows the existing pedestrian infrastructure and how it currently serves the Barnhardt Neighborhood properties.
BARNHARDT 23 OPPORTUNITIES & CONSTRAINTS
FINAL DRAFT, 03.20.24 0’ 125’ 250’ 500’
This exhibit highlights specific opportunities and constraints that are found within the Barnhardt Neighborhood.

Concept & Planning

TEMPLE, TEXAS 24
FINAL DRAFT, 03.20.24

This exhibit builds upon the direction of Temple’s Comprehensive Plan by refining the Major Thoroughfare Plan (MTP) to meet the needs of the Barnhardt Neighborhood.

The following are the key takeaways:

• Relocate the proposed community collector to the southern boundary of the Barnhardt Neighborhood plan area.

• Add two proposed neighborhood collectors to the plan to establish future internal circulation within the neighborhood.

• Dogwood Lane, Runnels Creek Drive, and Yarrelton Drive have all been given a plan designation of pedestrian connector. Dogwood Lane should be extended to connect with Barnhardt Road.

• Explore a Pedestrian Connector extension of Runnels Creek Drive to future development to the south, with a sidewalk connecting the adjoining developments being a minimum consideration.

• This exhibit recommends to add the Barnhardt Linear Park and Utility Corridor to the Parks & Trails Master Plan.

• Work with TISD to construct a trail connection to between Blackland Road and Barnhardt Road.

BARNHARDT 25 MAJOR THOROUGHFARE RECOMMENDATIONS
FINAL DRAFT, 03.20.24 0’ 125’ 250’ 500’

CHARACTER IMAGERY

Major Arterial

Minor Arterial

Community Collector

Neighborhood Collector Pedestrian Connector

Little River Road

Little River Road is a minor arterial that runs along the western edge of the Barnhardt Neighborhood. It’s currently a two lane road that is planned to be updated to meet the traffic demands of the recent adjoining development. This street provides connections to the two noncontiguous segments of Blackland Road. A sidepath is proposed to be located on the east side of Little River Road which ties into the proposed side path on Barnhardt Road and the existing sidepaths on Blackland Road. The future of this road is designed to be able to balance high traffic flow.

Key Characteristics:

• Four travel lanes with two on each side to meet new traffic demands

• Streetlights to ensure that the vehicular and pedestrian environments are well lit

• Landscape buffers on both sides of the street to separate traffic and pedestrians on the sidewalk, as well as provide shade for the pedestrians

CL 57’ Existing R.O.W. 97’ Proposed R.O.W. 10'-0" Sidepath 12'-0" Travel Lane 12'-0" Travel Lane 12'-0" Travel Lane 6'-0" Sidewalk 8'-0" Planting Buffer 8'-0" Planting Buffer
TEMPLE, TEXAS 26 LITTLE RIVER RD
FINAL DRAFT, 03.20.24

CHARACTER IMAGERY

Major Arterial

Minor Arterial

Community Collector

Neighborhood Collector

Pedestrian Connector

Barnhardt Road

Barnhardt Road is a community collector that runs between large estates, hobby farms, and an elementary school that is currently under construction. This road has a dedicated turn lane to maintain traffic flow knowing access to the adjoining schools is necessary. There is a larger sidepath on the elementary school side of the road to provide a more walkable environment for pedestrians traveling to school. Landscaping on either side of the road helps to enhance the area.

Key Characteristics:

• Dedicated turn lane to maintain traffic flow

• Sidepath to provide a safe pedestrian environment to the schools

• Enhanced planting to create a consistent buffer between the road and pedestrian realm

CL 54’-108’ Existing R.O.W. 8'-0" Planting Buffer 12'-0" Travel Lane 12'-0" Travel Lane 12'-0" Turn Lane 8'-0" Sidepath 10'-0" Sidepath 8'-0" Planting Buffer School Rural
BARNHARDT 27
BARNHARDT RD
FINAL DRAFT, 03.20.24

CHARACTER IMAGERY

Sidewalks may be expanded to 10’-0” to accommodate the utility corridor multi-use trail

Recomended R.O.W.

Major Arterial

Minor Arterial

Community Collector

Neighborhood Collector

Pedestrian Connector

Community Collector

This new community collector is planned for construction where no roadway currently exists. This road will help to connect traffic from Hwy 95 and Little River Rd. The goal of this road is to be able to aid in traffic control and help with traffic congestion, giving the Barnhardt Neighborhood an efficient road system. This roadway will provide people with new and improved access points and create opportunities for future development.

Key Characteristics:

• Dedicated turn lane

• One travel lane going in each direction

• Side path to give pedestrians safe off-street walking space

• Lights to ensure safety in pedestrian and vehicular environments

• Sidewalk length will vary to accommodate for the utility corridor

12’-0”
Travel Lane 12’-0” Travel Lane 5’-0”
Proposed Sidewalk
8’-0”
Proposed Sidepath
15’-0”
Planting Buffer
14’-0”
Planting Buffer
84’
14’-0” Turn Lane
TEMPLE, TEXAS 28 COMMUNITY COLLECTOR
FINAL DRAFT, 03.20.24

CHARACTER IMAGERY

Major Arterial

Minor Arterial

Community Collector

Neighborhood Collector

Pedestrian Connector

Neighborhood Collector

This new road will be a neighborhood collector that runs from Hwy 95 to Little River Rd and intersects another neighborhood collector. The addition of a new road in this location will improve traffic flow and provide connectivity to the linear park. There are designated areas to park along the side of the road to enable pedestrians within the area to leave their cars to walk/exercise.

Key Characteristics:

• Two travel lanes

• Parking on each side of the road

• Trees provide shade for the sidewalks

• Lights to ensure safety in pedestrian and vehicular environments

CL 12’-0” Travel Lane 12’-0” Travel Lane 5’-0”
5’-0” Proposed
8’-0” Parking 8’-0” Parking 8’-0” Planting Buffer 8’-0” Planting Buffer
R.O.W. 66’
Proposed Sidewalk
Sidewalk
Recomended
BARNHARDT 29
NEW NEIGHBORHOOD COLLECTOR
FINAL DRAFT, 03.20.24

CHARACTER IMAGERY

Major Arterial

Minor Arterial

Community Collector

Neighborhood Collector

Pedestrian Connector

Neighborhood Collector Adjacent to Linear Park

This proposed road will connect Blackland Rd. to the new community collector along the southern boundary of the plan area. Adding a neighborhood collector here provides the opportunity for alternative access points to other roads. The future of this road is to help engage the community with the linear park which is planned to run alongside the road.

Key Characteristics:

• Two travel lanes

• Parking on each side of the road

• Sidewalk on one side of the road

• Other side of the road borders Linear Park

CL 12’-0” Travel Lane 12’-0” Travel Lane 5’-0” Proposed Sidewalk 8’-0” Parking 8’-0” Parking 9’-0” Planting Buffer 8’-0” Planting Buffer Recomended R.O.W. 66’ 20’-0” Linear Park Corridor
TEMPLE, TEXAS 30 NEIGHBORHOOD COLLECTOR ADJACENT TO LINEAR PARK
FINAL DRAFT, 03.20.24

CHARACTER IMAGERY

Major Arterial

Minor Arterial

Community Collector

Neighborhood Collector

Pedestrian Connector

Dogwood Lane

Dogwood Lane is a local road that provides access to the portion of the neighborhood where a vast majority of the existing residents of the neighborhood live. This section will also apply to a future extension of Dogwood Lane to Barnhardt Road. The street’s existing R.O.W. ranges from 43’ to 57’ in width. The street’s existing condition is very poor. The limited R.O.W., poor street condition, and rural estate context may require an alternative approach to street programming. Consideration of a curbless street with a narrow paving section would be appropriate. An interim project may include a sidewalk type facility connecting Dogwood Lane to Barnhardt Road.

Key Characteristics:

• Consider paving alternative that may establish more of a path than a traditional sidewalk within R.O.W.

• Curbless and narrow street section to respond to the limitation of the existing R.O.W. and to maintain a rural character

DOGWOOD LANE

CL 43’-57’ Existing R.O.W. Varies 8’-0” Planting Buffer 4’-0” Sidewalk 2’-0” Ribbon Curb 12’-0” Travel Lane 2’-0” Ribbon Curb 12’-0” Travel Lane Varies
BARNHARDT 31
FINAL DRAFT, 03.20.24

This exhibit is intended to provide land use priorities and direction for the built environment by assigning the types of enhancement that should define future investment.

ENHANCEMENT FOCUS MAP

TEXAS 32
TEMPLE,
FINAL DRAFT, 03.20.24 0’ 125’ 250’ 500’

The Barnhardt Linear Park utilizes an existing drainage corridor that runs north to south through the plan area. The doubling up of the multi-use trail adjacent to the drainage corridor promotes longer stretches of uninterrupted travel. Additionally, for much of the length of the linear park, the multi-use trail would be co-located over a significant sewer trunk line. This relationship improves maintenance access to the sewer line for maintenance and turns a non-developable corridor into an amenity.

Key Considerations:

Buffer to Residential. The proposed linear park’s location acts as a buffer of physical space and vegetative screening to separate future commercial development from residential development in the plan area, preserving the neighborhood’s character. The commercial located along the Highway 95 corridor is ultimately an asset to plan area, providing a safe walkable route can help make it feel more like a neighborhood.

Neighborhood Linkage. The trail will serve as a pedestrian spine, enabling residents to walk north and south through the neighborhood. By placing the trail along the commercial zone, residents can easily meet their commercial needs within walking distance. Additionally, the linear park will foster a safe place for children to walk to school.

BARNHARDT 33 BARNHARDT LINEAR PARK
Howard Elementary School
Park
Barnhardt Linear Park
Future Commercial Future Commercial Future TISD School Sampson
Community Park Linear
Linear Park Utility Corridor Trail New Neighborhood
FINAL DRAFT, 03.20.24 0’ 125’ 250’ 500’

This section provides an illustration of how access to the linear park corridor may take place in areas where residential housing lots would back up to the Barnhardt Linear Park.

In some instances, along the linear park, a bridge will be necessary to link the trail to future commercial development. This should be viewed as an opportunity to coordinate commercial development around that access point to create a unique space.

Linear Park
TEXAS 34 LINEAR PARK
TEMPLE, Trail Corridor Near Residential Trail Corridor Near Commercial Development
FINAL DRAFT, 03.20.24

A community park located in the Barnhardt Neighborhood is intended to provide for future leisure and recreation needs of the neighborhood and surrounding area. The location of the proposed park property is in the southeastern portion of the plan area and takes land within a floodplain and utility corridor to maximize its use potential. Otherwise, these characteristics would be considered development restrictions.

Key Considerations:

Connection to Trail Corridors. The trails along the proposed Barnhardt Linear Park and utility corridor are intended to connect the Barnhardt neighborhood residents, as well as future adjoining neighborhoods to the Barnhardt community park. Placing park facilities along trail corridors improves its value by providing bikeable and walkable destinations along the City’s trail corridors.

Supports More Intense Land Uses. Community parks should be viewed as an area that draws visitors and supports more compact housing types. Adjoining land uses should take advantage of the investment into the community park. This creates a mutually beneficial relationship between the housing, commercial uses, and the park space, with higher visitor levels to the park and the neighboring businesses.

Barnhardt Community Park Future Commercial Future Commercial
Future Neighborhood
Corridor
Apartments
35
COMMUNITY PARK
Future Commercial Park Loop Trail Recreation Field Recreation Field Playground Park Parking Park Parking Community Park Barnhardt Linear Park Utility
Trail Utility Corridor Trail
Townhouse BARNHARDT
BARNHARDT
New Community Collector New Neighborhood Collector State Highway 95 New Neighborhood Collector
FINAL DRAFT, 03.20.24 0’ 40’ 80’ 160’

Community Park

Park Programming

A community park is intended to serve a larger area than just the neighborhood and its programming should include things that aren’t found in your typical neighborhood park. Large lawn spaces that can be used for practice fields should be a priority. These spaces are not intended to be game fields, but a flexible space

that can handle the practice demands from a variety of outdoor sports. Additional program elements should include sports courts, picnic areas, a water amenity, or other program elements that create noise or traffic that is not well-suited for a typical neighborhood. As these parks serve a larger area, integrating off-street parking lots would be appropriate.

Playground Character

The community park is another opportunity to promote the neighborhood’s sense of place. Adding themed elements, such as barns and tractors, to playground design will reinforce the neighborhood’s connection to its agrarian pastime.

Playground Character Elements:

• Barnyard Animals

• Tractors/Tractor Tires

• Windmill/Weather Vane

• Barns

• Silos

• Hay Bales

• Irrigation Equipment

• Wagons

• Combines/Harvesters

• Pens/Rail Fence

TEMPLE, TEXAS 36 BARNHARDT PARK Practice Fields Sports Court Water Amenity/Splash Pad
FINAL DRAFT, 03.20.24
Picnic Shelters/Pavilions for Gatherings

Estate Neighborhood

Green Acres Character

The estate neighborhood focus area is distinct from the rest of the plan area in that it was the only residential portion of the plan area until the very recently developed subdivision. Houses are older and stand alone with secondary structures such as garages, barns, and workshops completing the property composition that is set amongst the backdrop of pastures and hay fields. Its character is that of large lots or small farm plots embracing the rural aesthetic. Surrounded by the pressures of growth this sub-area of Barnhardt will act as the last vestige of the historical past.

Agricultural Uses

This area includes properties that are actively used for agricultural purposes, including raising animals. These activities are an integral reason why the residents have elected to reside in this area of Temple. Efforts to support these agricultural uses should be reinforced through regulatory methods, such as disallowing land to be subdivided into parcels less than 1 acre in size. Smaller lots do not allow for the necessary buffers between housing, creating conflicts with certain agricultural practices.

Planting

The estate neighborhood has a pastoral feel that would benefit from a planting template that reinforces this aesthetic. The Barnhardt Neighborhood is located in the Blackland Prairie ecoregion, which means that native plantings associated with this region would be appropriate. Specifically, the use of large shade trees, wildflowers, and native grasses would meet the desired landscape aesthetic.

Recommended Plants

Trees

Pecan

Black Walnut

Sycamore

Burr Oak

Shumard Red Oak

American Elm

Cedar Elm

Common Persimmon

Deciduous Holly

Red Mulberry

Carolina Buckthorn

Red Buckeye

Eastern Redbud

Mexican Plum

American Elderberry

Shrubs

Buttonbush

Fragrant Sumac

Autumn Sage

Succulents

Pale-leaf Yucca

Vines

Cross-vine

Trumpet Creeper

Coral Honeysuckle

Virginia Creeper

May Pop

Prairie Rose

Grasses

Big Bluestem

Sideoats grama

Canada Wildrye

Indiangrass

Little Bluestem

Wildflowers

Columbine

Purple Coneflower

Coralbean

Cardinal Flower

Turk’s Cap

Scarlet Sage

Indian Paintbrush

Texas Bluebonnet

Brown-eyed Susan

Fencing

Fencing is often used as a way to provide additional design features within the built environment. The use of wood fencing can contribute to furthering the desired rural character of the estate neighborhood focus area. Two examples would be post and rail fence and split rail fence. Post and rail fence while more costly is better suited for meeting the rigors of containing livestock. The split rail fence has high aesthetic character and often lacks the versatility to be used for livestock fencing. Split rail fence may be utilized as an ornamental application of fencing around yards at driveway entries.

37
BARNHARDT ESTATE NEIGHBORHOOD Split Rail Fence Wild Flowers and Native Grasses Farm House Livestock Production Prevalent Secondary Structures Production Gardens
FINAL DRAFT, 03.20.24
Post and Rail Fence

Green

To help preserve the existing character of the neighborhood, the estate-style section of the neighborhood plan area will be sub-branded as Green Acres. This section is somewhat isolated from the rest of the neighborhood and will characteristically be different than the new residential development to come. Because of its isolation, differences, and intent on preservation, it seems appropriate to introduce a subsidiary of the overall neighborhood brand.

GREEN ACRES MONUMENT

Green Acres will feature two or three monument signs to be placed along Dogwood Lane and Sycamore Street. The first sign location will be where Dogwood Lane intersects US-190. The second location will be at the intersection of Sycamore Street and Little River Road. Additionally, a third sign could be placed where the linear park trail crosses Barnhardt Road.

at BARN H ARDT at BARNHARDT at TEMPLE, TEXAS 38 GREEN ACRES
Acres Branding BARNHARDT
5’ 6”
at FINAL DRAFT, 03.20.24
BARNHARDT

Commercial Edge

State Highway 95 Overlay Zone

The use of an overlay zone along State Highway 95 can be a beneficial way for Temple to guide development on one of its gateways into the community. Corridor enhancements such as landscaping and access management will have positive impacts for managing growth along the corridor while maintaining a high level of aesthetic character and functionality.

Limit Parking Lot Impacts

Parking lots can have a negative impact on the efforts to maintain engaging and aesthetically pleasing corridors. Consider reducing the number of parking bays that front the corridor without the presence of an outparcel building to provide architectural interest.

Enhanced Landscape and Monument Sign Standards

The addition of a more rigid application of landscape and monument sign standards can result in a more unified feel along the corridor. Enhanced landscaping can be both to represent the desired character for the neighborhood as well as contribute to the parkway feel of the street environment. Stricter standards for monument signs reduces clutter and helps to improve wayfinding and a sense of place for the corridor’s travelers.

Access Management and Cross Access Easements

Reducing the number of driveways may seem counterintuitive to improving access, but it often does. Additionally, it maintains higher traffic flows on the adjoining street or highway. A simplified and efficient parking lot layout reduces conflict points and increases certainty for drivers resulting in an improved experience with ingress and egress of the site.

Benefits of Overlay Controls

• Welcoming corridor and sense of arrival to Temple

• Soften the street edge for pedestrians, with a more comfortable environment

• Simplification of the monument signage minimizes threat of cluttered appearance from signage

• Improved safety for vehicles and pedestrians

• Improved traffic flow

• Helps define sense of place for developers to help market their respective developments to perspective businesses and residents

Stop On By Public House Parking Lot Overlay Enhanced Landscape Commercial Building State Hwy 95 Access Management Diagram Limit Amount of Parking Along Street Edge Enhanced Landscape to Promote Desired Character BARNHARDT 39 COMMERCIAL EDGE
Avoid FINAL DRAFT, 03.20.24

New Neighborhood

The layout of the future neighborhood section creates a transition from a compact development pattern to low-density housing. The denser development is near supporting infrastructure like utilities, the community park, and the commercial corridor. Moving west from the community park the housing becomes less dense, with the least dense housing along Little River Rd. This provides a wide variety of housing types allowing for a wider range of incomes. Having the housing types progress from high, medium, to low-density provides for a smoother transition to complement and help preserve the aesthetic of the existing estate-style development along Little River Rd.

Alley-loaded lots allow for the structure to have a more distinct architectural character, that would otherwise be lost on smaller lots with front garages. Moving the parking to the rear allows the house to be closer to the front property line and better engage the street.

60’ wide single-family lots allow for front driveways, where the homes architecture still maintains a majority of the front building facade. Architecture on smaller lots with front access garages lose their aesthetic interest and engagement of the street environment from the banality of the garage and bareness of the driveway.

The large single-family lots intend to complement the existing estate-style homes of Green Acres along Dogwood Ln. These lots are made up of ½ acre tracts as opposed to the larger 1 acre tracts of Green Acres. This allows the homes to be set back further from the road and away from neighbors, allowing more suburbanization while keeping the rural character of the neighborhood.

As a desire to make the Barnhardt Neighborhood a more complete neighborhood, the allowance of townhouses, livework, multiplex, or apartment housing should be considered. This would provide an alternative for housing that caters to people that would like less overall maintenance or need a temporary residence before they move into the neighborhood. This would include young professionals, empty nesters, aging population, or new arrivals to Temple. These housing types should be limited to being adjacent to commercial and park space.

TEMPLE, TEXAS 40
Proposed
Neighborhood Collector
Proposed
Neighborhood Collector
Wide Single-Family Lot
Alley-Loaded Single-Family Detached 60’
NEW NEIGHBORHOOD FINAL DRAFT, 03.20.24
Large
Lot Single-Family Townhouse, Livework, Multiplex, Neighborhood Apartment
BARNHARDT 41 SCHEMATIC LIGHTING ZONES FINAL DRAFT, 03.20.24 0’ 125’ 250’ 500’

GENERAL STREET ZONE

The General Street Zones are the pedestrian and vehicular corridors of the neighborhood. These streets see the largest portions of vehicular and pedestrian traffic both in and out of the neighborhood. As such, these corridors should have ample lighting and maintain high operating standards, while not overpowering residential properties.

Lighting Notes:

Lamp Size 15,000 Lumens, 150 Watts

Spacing 120’ poles staggered

*Average Foot-candles 0.6

*Information informed by Highway Illumination Manual, Texas Department of Transportation, 2018

Recommended application of dark sky fixtures that minimize glare while reducing light trespass and sky glow.

INTERSECTION ZONE

The Intersection Zone highlights key pedestrian crossings. The traffic associated with these areas requires an increase in lighting to ensure both pedestrian and vehicular safety.

Lighting Notes:

Lamp Size 30,000 Lumens, 250 Watts

Spacing 1 light pole at each respective corner, 4 total.

*Average Foot-candles 2.0

*Information informed by Highway Illumination Manual, Texas Department of Transportation, 2018

Recommended application of dark sky fixtures that minimize glare while reducing light trespass and sky glow.

NEIGHBORHOOD ZONE

The Neighborhood Zone is the primary single-family residential portion of the plan area. This zone needs to balance lighting for safety concerns while maintaining residential privacy.

Lighting Notes:

Lamp Size 9,500 Lumens, 100 Watts

Minimum Spacing 150’ poles staggered

*Average Foot-candles 0.4

*Information informed by Highway Illumination Manual, Texas Department of Transportation, 2018

Recommended application of dark sky fixtures that minimize glare while reducing light trespass and sky glow.

PARK ZONE

The Park Zone is intended to be a highly visible and active linkage. The lighting should be pedestrian scaled and well lit as to encourage extended use.

Lighting Notes:

Spacing 90’

Average Foot-candles 0.65

Recommended application of dark sky fixtures that minimize glare while reducing light trespass and sky glow.

BUSINESS/COMMERCIAL ZONE

The use of Backlight, Uplight, and Glare (BUG) ratings should be considered for business or commercial properties to promote dark sky principles and reduce off-site lighting impact on adjacent properties, especially near a residential neighborhood.

ESTATE ZONE

Lighting within the Estate Zone is property specific and will respond to the property owners needs. Street lighting is not necessary. The use of Backlight, Uplight, and Glare (BUG) ratings should be considered if feasible to promote dark sky principles and reduce overall light pollution.

LIGHTING ZONES

TEMPLE, TEXAS 42
LIGHTING ZONES
FINAL DRAFT, 03.20.24

NEIGHBORHOOD BRANDING

The Barnhardt name for the neighborhood originated as part of this planning exercise. The establishment of the neighborhood’s brand was a process that included significant input from the City’s planning team as well as neighborhood stakeholders in an effort to capture the spirit of the neighborhood in graphic form. Below illustrates the concept development of the Barnhardt brand.

Barnhardt Barnhardt

Barnhardt neighborhood

BARNHARDT Neighborhood

BARNHARDT Neighborhood

BARNHARDT

NEIGHBORHOOD

Neighb orhood

BARNHARDT Neighborhood

Barnhardt neighborhood

NEIGHBORHOOD

BARNHARDT 43
BRANDING
BARNHARDT BARNHARDT BARNHARDT
FINAL DRAFT, 03.20.24

BARNHARDT Neighborhood Neighborhood BARNHARDT

BARNHARDT Neighborhood BARNHARDT

PRIMARY LOGO COLOR

BARNHARDT

NEIGHBORHOOD

FONTS

FAIRPLEX WIDE OT BOLD BROTHERS OT BOLD

Thirsty Script GIN

BARNHARDT Barnhardt

Barnhardt neighborhood

Blackland RD 3900

Barnhardt

Blackland RD 3900

BARNHARDT Neighborhood

Blackland RD 3900

NEIGHBORHOOD MONUMENT

A vertical monument addresses the provision of a gateway element on a smaller footprint. Considering that Barnhardt’s boundary is made up of major roads and highways, the likely placement for the neighborhood monument would be along the linear park trail at points where roads like Blackland intersect the trail.

The Barnhardt Neighborhood is known for its pastoral nature. During conversations with the neighborhood stakeholders about the symbolism of the neighborhood, flora and fauna were a recurring theme. Some specific flora and fauna mentioned include sunflowers and a Barbados Ram. The origin of Barnhardt is a German surname and has no relation to a physical barn. However, because of the neighborhood’s history of farming, a barn could be used as a symbol of the neighborhood.

5’ 6”

NEIGHBORHOOD

TEMPLE, TEXAS 44 NEIGHBORHOOD IDENTITY
STREET SIGN TOPPERS
NEIGHBORHOOD IDENTIFICATION
FINAL DRAFT, 03.20.24

Recommendations

BARNHARDT 45
FINAL DRAFT, 03.20.24

Barnhardt Neighborhood Action Plan

This section of the plan summarizes the recommendations derived from the project findings into the Barnhardt Neighborhood Action Plan. These actions follow the direction put forth in the City’s Strategic Plan and Temple By Design, 2020 Comprehensive Master Plan. In accordance with those plans, the actions are organized by the focus areas Smart Growth, Public Safety, Places and Spaces, and High-performing Organization. The recommendations in the Action Plan will reference the respective Comprehensive Plan initiative they help to realize. The Action Plan will identify the implementation method, priority, and department involvement.

SMART GROWTH INITIATIVES

Design and Development

DD.1

DD.2

State Highway 95 Overlay. Develop an overlay that establishes access management and enhance street landscaping standards to ensure a high functioning corridor with a strong aesthetic character.

When considering alternatives to single-family detached housing within the plan area, encourage placement to occur near Barnhardt Linear Park or Barnhardt Community Park and in close proximity to future commercial located along the State Highway 95.

Streets and Thoroughfares

ST.1 Update Major Thoroughfare Plan to add the community collector along the southern boundary of the plan area and the two proposed neighborhood collectors in the southern portion of the Barnhardt Plan area.

ST.2 Little River Road. Reconstruct Little River Road based off current plan set construction documents.

ST.3 Barnhardt Road. Reconstruct Barnhardt Road based off current plan set construction documents.

ST.5 Pedestrian Connectors. Construct a walking path or sidewalks along Sycamore Street and Dogwood Lane like the connection from Dogwood Lane to Barnhardt Road. As this street is in a rural setting, street programing should reflect that context.

ST.6 Implement a sidewalk condition evaluation on a 5-year cycle to assess for ADA compliance and connectivity. Schedule repairs and additions through the CIP plan or identify funding through other programs.

Infrastructure Systems

IS.1 Lighting Plan. Implement lighting plan within the Barnhardt Neighborhood. Evaluate high needs areas to receive lighting priority.

IS.2 Coordinate future fire station and water tower placement in the plan area to maximize efficiency and reduce land consumption of neighborhood supporting infrastructure.

Drainage

D.1 Coordinate development within the plan area so detention facilities promote access and complement the Barnhardt Linear Park.

D.2 Plan and consider regional detention needs in coordination with the Barnhardt Community Park. Seek out methods for regional detention and recreation facility such a practice fields can co-locate.

SMART GROWTH INITIATIVES

Parks and Trails

PT.1 Plan and Design Barnhardt Linear Park. Coordinating with the Lower Knob Creek Wastewater Line to establish the Barnhardt Linear Park. Plan, design, and construct multi-use trail and other programming elements.

PT.2 Plan and Design Barnhardt Community Park. Work with property owners to acquire property for the community park. Plan and design park facility including connection to the Barnhardt Linear Park.

PT.3 Update Parks Trail Master Plan. Add both the Barnhardt Linear Park Trail as well as a designated trail corridor to correspond with the overhead utility line that bisects the southeast corner of the plan area.

Action Type

Comprehensive Plan Initiative Priority Involved Departments

Plan, Coordinate, Capital 1.4.1 High Parks

Plan, Coordinate, Capital 1.4.1 Medium Parks

Plan, Coordinate, Capital 1.4.1 Medium Parks

PUBLIC SAFETY INITIATIVES

Police Safety

PS.1 Enhance neighborhood relations through continuous evaluation of policing techniques and working with residents to develop crime reduction strategies. Coordination, Program 4.1.4 High Police, Transform Temple

PS.2 Revamp the Neighborhood Watch program and encourage increased participation in the program. Coordination, Program 4.1.4 Medium Police

Fire Safety

FS.1 Develop a program through the Temple Fire Dept to check/ install smoke detectors. Coordination, Program 4.2.7 Low Fire, Housing & Community Development

FS.2 Develop a program to install house/business numbers for identification. Coordination, Program 4.2.7 Low Fire, Housing & Community Development

PLACES AND SPACES INITIATIVES

Community Branding

CB.1 Street Signs. Select and implement street sign family, sign toppers, banners, and wayfinding (including symbols) to be used in the plan area.

Unique Assets

UA.1

Work with the Utility Billing Office to identify new residents in the Barnhardt Neighborhood so that a “Welcome to the Neighborhood” packet can be sent to them. This packet should include contact information, bulk trash pickup schedule, code compliance rules and regulations, and other useful information.

UA.2

Action Type Comprehensive Plan Initiative Priority Involved Departments

Capital Policy 5.1.4 Low Planning, Public Works

Work with Temple Beautiful on establishing resources to encourage the “re-naturalization” of a portion of the plan area through the use of native tree, wildflowers, and grasses. This effort is part of the desire to reinforce and maintain the pastoral feel of the current Barnhardt Neighborhood. Partner with Temple Public Library to utilize their seed program. Coordination, Program 5.2.3 Medium Housing & Community Development

Action Type Comprehensive Plan Initiative Priority Involved Departments
Policy 1.1.1 1.1.9 High Planning
Policy 1.1.1 1.3.4 Low Planning
Policy 2.2.2 High Planning
Capital 2.2.2 2.2.3 Medium Public Works
Capital 2.2.2 2.2.3 Medium Public Works
Capital 2.2.2 2.2.3 Low Public Works
Policy, Study 2.3.3 Low Planning, GIS, Public Works
Coordinate 1.2.6 High Oncor, Public Works
Coordinate 1.2.6 High Fire Department, Public Works
Coordinate 1.5.4 High Parks, Public Works
Coordinate 1.5.4 Medium Parks, Public Works
Comprehensive
Action Type
Plan Initiative Priority Involved Departments
Coordination, Program 5.2.3 Medium Housing & Community Development
TEMPLE, TEXAS 46 ACTION PLAN
FINAL DRAFT, 03.20.24

Neighborhood Stabilization and Redevelopment

NSR.1

NSR.2

Develop a community outreach program to educate the public about code compliance rules and regulations. Program

Task the Neighborhood Coalition with scheduling and promoting block parties and events, such as National Night Out, and share information about the Tool Library, Tool Trailer and Track Temple app.

Promote the use of the Track Temple app via promotional materials and expanded messaging.

NSR.3

Housing & Community Development

Transform

Barnhardt Neighborhood Capital Improvement Plan

The following list of projects was derived from the concepting and recommendations formulated as part of the planning process. The projects identified correlate with the actions found in the Barnhardt Neighborhood Action Plan. Projects may be a single action or a combination of actions. The opinion of the probable cost was developed uniquely for each particular project and includes the cost of construction, contingency, land/right-of-way acquisition, and professional services. Action prioritization in regards to project implementation should be followed; however, if circumstances arise that increase the urgency or cost savings for the realization of the project, deviations from the recommended action priority is appropriate.

Transform Temple, Housing & Community Development

HIGH-PERFORMING ORGANIZATION INITIATIVES

DR.1

Establish a Neighborhood Coalition and a neighborhood champion to streamline communications on activities impacting the neighborhood, such as zoning cases, variance requests, applicable plat requests, Capital Improvement Plan projects, etc.

Sub-Area Planning

SAP.2 Review and update the Temple CIP project list to include the projects identified in the Barnhardt Capital Improvement Plan.

SAP.3 Develop a task force for coordination of neighborhood district planning initiatives. This task force should focus on identifying partnerships and secondary funding sources.

1. Plan and Design Barnhardt Linear Park/Trail PT.1 $40 Thousand Parks

2. Plan and Design Barnhardt Community Park Plan PT.2 $80 Thousand Parks

3. Little River Road Extension PT.3 $6.2 Million Public Works

4. Dogwood Extension PT.4 $1.5 Million Public Works

Project Action Opinion of Probable Cost Implementing Department
Action Type Comprehensive Plan Initiative Priority Involved Departments
Development Review
Policy 8.1.6 High Planning, Housing & Community Development
Neighborhood
Plan. Policy 8.2.1 High Planning
SAP.1 Develop an annual report to track progress on Barnhardt
Action
Policy 8.3.2 High
Planning
Coordination 8.2.3 High Planning
Comprehensive
PLACES AND SPACES INITIATIVES Action Type
Plan Initiative Priority Involved Departments
7.2.3
Medium
Program 7.2.3 Low
Community Development
Temple, Housing &
Program 7.2.3 Low
BARNHARDT 47 CAPITAL IMPROVEMENT PLAN
FINAL DRAFT, 03.20.24
TEMPLE, TEXAS 48 CAPITAL PROJECTS MAP FINAL DRAFT, 03.20.24
125’ 250’ 500’
0’

The water lines identified in this exhibit provide recommended locations and capacity to serve the neighborhood district.

6" W 8" W 8" W 2" W 4" W 8" W 8" W 12" W 6"W 2" W 2" W 2" W 3" W 2" W 2" W 3" W 6" W 12" W 2" W
RW24" RW24"
12" W 2" W 6" W 1.5" W 3" W 1.5" W 1.5" W 12" W 12" W 12" W 6" W 12" W
RW24"
RW24" 1.5" W 3" W 3" W 3" W 2" W 2" W 3" W 3" W 6" W RW24" 8" W 4" W 6" W www.kpaengineers.com FIRM #510
-WaterCITY LIMITS NEIGHBORHOOD EXIST. TO BE ABANDONED 2" W EXIST. WATER TO REMAIN PROPOSED 24" WATER LINE 0 HORIZONTAL SCALE IN FEET 250 500 P:\Temple\2023\2023-CLA133 Barnhadt Neighorhood Plan\02-Conceptual design\CAD\Water & WW\Barnhardt NPD.dwgBarnhardt WL PROPOSED 12" WATER LINE PROPOSED WATER LINE UNDER CONTRACT BARNHARDT 49 WATER LINES EXHIBIT
RW24"
Barnhardt
FINAL DRAFT, 03.20.24

The wastewater lines identified in this exhibit provide recommended locations and capacity to serve the neighborhood district.

8" WW 8" FM 8" FM 8" FM 8" FM 8" FM 8" FM 10" WW 10" WW 10" WW 10" WW 10" WW 10" WW 0 HORIZONTAL SCALE IN FEET 250 500 P:\Temple\2023\2023-CLA133 Barnhadt Neighorhood Plan\02-Conceptual design\CAD\Water & WW\Barnhardt NPD.dwgBarnhardt WW www.kpaengineers.com FIRM #510 Barnhardt -WastewaterCITY LIMITS NEIGHBORHOOD EXIST. TO BE ABANDONED EXIST. WASTEWATER TO REMAIN PROPOSED WASTEWATER IMPROVEMENTS PROPOSED WASTEWATER LINE TEMPLE, TEXAS 50 WASTEWATER LINES EXHIBIT
FINAL DRAFT, 03.20.24

Turn static files into dynamic content formats.

Create a flipbook
Issuu converts static files into: digital portfolios, online yearbooks, online catalogs, digital photo albums and more. Sign up and create your flipbook.