Präsentation Bauausschuss-Sitzung 16.02.2023

Page 1

Bauausschuss-Sitzung am 16.02.2023 I Öffentlicher Teil

Bauausschuss-Sitzung am 16.02.2023 I Öffentlicher Teil

Tagesordnungspunkte für den 16.02.2023

1. Genehmigung der Niederschrift über die öffentliche Sitzung des Planungs-, Bau- und Umweltausschusses vom 19.01.2023

2. Vollzug des BauGB;

2.1 Erste Änderung des städtischen Bebauungsplanes Nr. 150a „Natur in Pfaffenhofen a. d. Ilm 2017 – Sport- und Freizeitpark an der Ilm“ – Aufstellungsbeschluss –

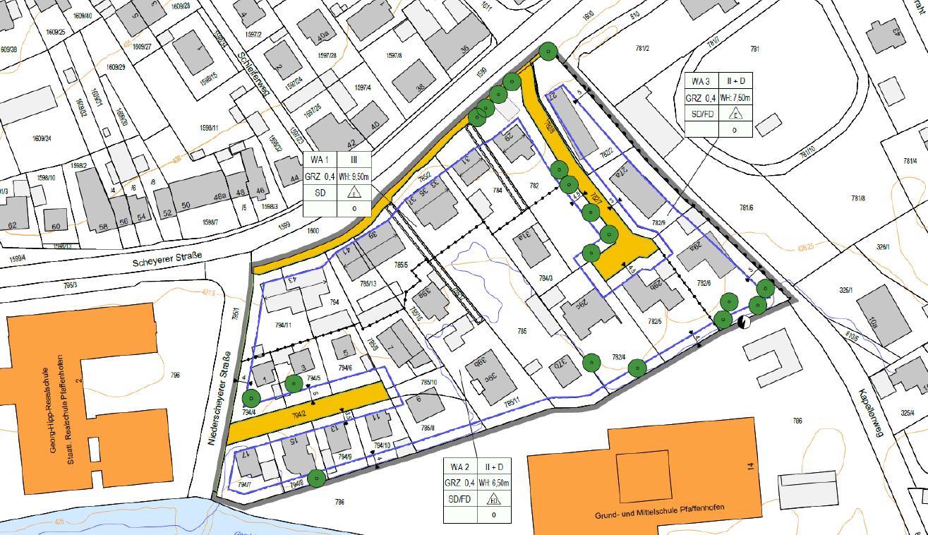
2.2 Aufstellung des städtischen Bebauungsplans Nr. 186 „Nördlich der Grund- und Mittelschule“ –

Satzungsbeschluss –

3. Fortschreibung des Regionalplanes der Region Ingolstadt (10); 30. Änderung; Neufassung des Kapitels 5.2 (neu)

Bodenschätze – erneute Beteiligung nach Art. 16 Abs. 6 BayLplG –

4. Bauanträge und Bauvoranfragen;

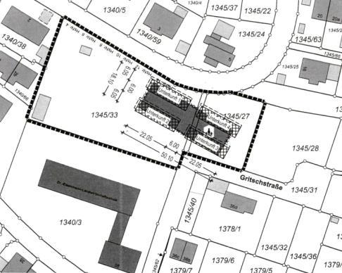
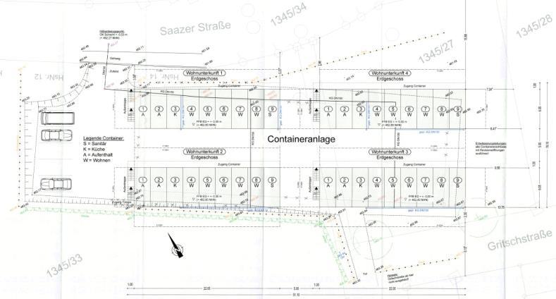
4.1 Antrag auf Baugenehmigung zur Errichtung einer Asylbewerberunterkunft in Pfaffenhofen a. d. Ilm (befristet auf 3 Jahre) in der Saazer Straße, Fl.-Nrn. 1345/27, 1345/31 und 1245/33, Gem. Pfaffenhofen

5. Bekanntgaben

6. Wünsche und Anfragen

Bauausschuss-Sitzung am 16.02.2023 I Öffentlicher Teil

Top 1 Genehmigung der Niederschrift

über die öffentliche Sitzung des Planungs-, Bau- und Umweltausschusses vom 19.01.2023

Die Niederschrift der öffentlichen Sitzung des Planungs-, Bau- und Umweltausschusses vom 19.01.2023 wird genehmigt.

Bauausschuss-Sitzung am 16.02.2023 I

Öffentlicher Teil

Top 2.1 1. Änderung Bebauungsplan Nr. 150a „Natur

Ilm 2017 – Sport- und Freizeitpark an der Ilm“ – Aufstellungsbeschluss

Bauausschuss-Sitzung am 16.02.2023 I Öffentlicher Teil

in Pfaffenhofen a.d.

Top 2.1 1. Änderung Bebauungsplan Nr. 150a „Natur in Pfaffenhofen a.d. Ilm 2017 – Sport- und Freizeitpark an der Ilm“ – Aufstellungsbeschluss

Der Ausschuss beschließt die Einleitung des Bauleitplanverfahrens zur ersten Änderung des städtischen Bebauungsplans Nr. 150a „Natur in Pfaffenhofen a. d. Ilm 2017 – Sportund Freizeitpark am der Ilm“ im beschleunigten Verfahren gemäß § 13a BauGB.

Bauausschuss-Sitzung am 16.02.2023 I Öffentlicher Teil

Top 2.2 Aufstellung des städtischen Bebauungsplans Nr. 186 „Nördlich der Grund- und Mittelschule“ – Satzungsbeschluss –

Bauausschuss-Sitzung am 16.02.2023 I Öffentlicher Teil

Top 2.2 Aufstellung des städtischen Bebauungsplans

Nr. 186 „Nördlich der Grund- und Mittelschule“ – Satzungsbeschluss –

Der Ausschuss beschließt abschließend über die Stellungnahmen der Behörden und sonstigen Träger öffentlicher Belange sowie der Öffentlichkeit gemäß § 3 Abs. 2 BauGB gemäß der vorliegenden Zusammenstellung. Die Verwaltung wird beauftragt, die Öffentlichkeit sowie die Behörden und sonstigen Träger öffentlicher Belange, die Stellungnahmen eingereicht haben, von diesem Ergebnis unter Angabe der Gründe in Kenntnis zu setzen.

Der Ausschuss beschließt den Bebauungsplan Nr. 186 „Nördlich der Grund- und Mittelschule“ in der Fassung vom 16.02.2023 als Satzung. Die Begründung wird gebilligt. Die Verwaltung wird beauftragt, den Satzungsbeschluss gemäß § 10 Abs. 3 BauGB ortsüblich bekanntzumachen.

Dabei ist anzugeben, wo der Bebauungsplan während der Dienststunden eingesehen und über den Inhalt Auskunft verlangt werden kann.

Bauausschuss-Sitzung am 16.02.2023 I Öffentlicher Teil

Top 3 Fortschreibung

Regionalplan Region 10; 30. Änderung; Neufassung von Kapitel 5.2 (neu) Bodenschätze –

2. Beteiligung Art. 16 VI BayLplG

Bauausschuss-Sitzung am 16.02.2023 I Öffentlicher Teil

Top 3 Fortschreibung Regionalplan Region 10; 30. Änderung; Neufassung von Kapitel 5.2 (neu) Bodenschätze –

2. Beteiligung Art. 16 VI BayLplG

Da städtische Belange nicht betroffen werden, beschließt der Ausschuss, keine Stellungnahme zur Fortschreibung des Regionalplanes der Region Ingolstadt (10), 30.

Änderung, Neufassung des Kapitels 5.2 (neu) Bodenschätze abzugeben. Im Fall eines erneuten Beteiligungsverfahrens dieser Änderung wird auf eine erneute Behandlung im Gremium verzichtet, sofern städtische Belange nicht berührt sind.

Bauausschuss-Sitzung am 16.02.2023 I Öffentlicher Teil

Top 4.1 Errichtung einer Asylbewerberunterkunft

(befristet auf 3 Jahre) in der Saazer Str., Fl.-Nrn. 1345/27, 1345/31 und 1345/33, Gem. PAF

Bauausschuss-Sitzung am 16.02.2023 I Öffentlicher Teil

Top 4.1 Errichtung einer Asylbewerberunterkunft

(befristet auf 3 Jahre) in der Saazer Str., Fl.-Nrn. 1345/27, 1345/31 und 1345/33, Gem. PAF

Bauausschuss-Sitzung am 16.02.2023 I Öffentlicher Teil

Top 4.1 Errichtung einer Asylbewerberunterkunft (befristet auf 3 Jahre) in der Saazer Str., Fl.-Nrn. 1345/27, 1345/31 und 1345/33, Gem. PAF

Der Ausschuss beschließt, das Einvernehmen zum Antrag auf Errichtung einer Asylbewerberunterkunft in Pfaffenhofen a. d. Ilm (befristet auf 3 Jahre) in der Saazer Straße, Fl.-Nrn. 1345/27, 1345/31 und 1345/33, Gem. Pfaffenhofen und die damit notwendigen Befreiungen vom Bebauungsplan und Abweichungen von der KfzStellplatzsatzung zu erteilen.

Bauausschuss-Sitzung am 16.02.2023 I Öffentlicher Teil

Top 5 Bekanntgaben

Bauausschuss-Sitzung am 16.02.2023 I Öffentlicher Teil

Top 6 Wünsche und Anfragen

Bauausschuss-Sitzung am 16.02.2023 I Öffentlicher Teil

Turn static files into dynamic content formats.

Create a flipbook
Issuu converts static files into: digital portfolios, online yearbooks, online catalogs, digital photo albums and more. Sign up and create your flipbook.
Präsentation Bauausschuss-Sitzung 16.02.2023 by Pfaffenhofen a. d. Ilm - Issuu