Pensacola Bella Magazine May 2024

Page 1

Coast life

A peek at summer fashion, sunny skincare, coastal perspectives, top teachers, and a beach workout to inspire

ALSO INSIDE:

Pensacola Lighthouse, Panhandle Butterfly House & quirky coastal attractions to visit

TIRES FOR LIFE AND LIFETIME POWERTRAIN WARRANTY REQUIRE ALL FACTORY MAINTENANCE FOR AS LONG AS YOU OWN THE VEHICLE. SEE DEALER FOR DETAILS. 6637 PENSACOLA BLVD. | PENSACOLA, FL 32505 850.457.7772 Movement that inspires 2024 KIA SORENTO X-PRO The road is yours.

Since 1978, Lee Tracy has been helping women of all ages discover high end, fresh and distinct looks that provide a window into what brings happiness — fantastic personal statement clothing at reasonable prices.

Each Lee Tracy boutique stylist takes pride in discovering fashion-forward clothing and accessory statements that sets any woman from youth to the glowing golden years apart from her contemporaries. A woman’s wardrobe is a distinct element of her personality, and simply buying off the rack is NOT the solution.

Offering top designs from Johnny Was, Liverpool, Clara SunWoo, Dear John, & Lysse’, today’s Gulf Coast women have a cornucopia of individualized selections to bring together a unique ensemble. For more bold looks, Lee Tracy stylists can also help you realize a design from Veronica M, Tat2, Last Tango, and even the elusive statements of Oh My Gauze and Elan. For accessories, exciting pieces are also available from Julie Vos, Consuela, BedStu, Hobo, and our local artist Jennifer Ponson!

Make your next shopping excursion a generational experience by indulging your sense of style from Lee Tracy Boutique. Where fashion knows no age!

Your Lee Tracy Girls, Diane, Kate, & Carol Anne

leetracypensacola.com 701 E. Gregory St.| (850) 912-8639

May 2024 • Bella Magazine • 5

from the editor

People pay for this. I have to keep reminding myself of that as summer looms. You see, I’m not really a beach person. I love looking at the beach, and I love being on a boat, but I don’t really like taking a day to drive out to the beach, unload all my junk, haul it to a good spot, set up the very necessary umbrella or canopy tent and spend the next few hours trying to remember sunscreen. That’s no fun to me!

And yet.

I find myself wondering how many more summers I have to sit on that sugar-white sand or dip my toes in that emerald-green water. The inimitable Shaquille O’Neal recently mused on how many summers he might have left, and that hit close to home for me. While my bar has always been the genetic code that blessed me with the possibility of living well into my 90s, I’m also aware that fate may have a different plan for me. How many chances do I have to enjoy this gorgeous place I call home?

A sweet friend recently told me that, when it comes to enjoying the beach, it’s best if you don’t lug a ton of things and plan a whole day. Why not just pop out with nothing but a towel for a quick swim? She even offered to give me a report of the conditions as seen from her condo so I can decide if it’s my day or not.

People do pay for this, you know. My husband and I recently made friends with a wonderful couple from Canada he met golfing. They come here every year to enjoy the spectacular views from their rented Navarre condo and to golf at our local courses. Listening to them talk made me see our coast with different eyes.

Reading the stories in this issue did, too. I hope you’ll find a new appreciation for our coast life as you browse these pages. It really is a gift we all should appreciate — and partake in — more often!

PUBLISHER / Kelly MacLeod

EDITOR / Lisa Player

ART DIRECTOR / Elizabeth Meyer

CONTRIBUTING WRITERS

CONTRIBUTING PHOTOGRAPHERS

Toni Sparks, Kate Treick

ADVERTISING

Jennifer Harrison, Magi Thomley Williams

6 • Bella Magazine • May 2024
— Lisa
Player
VOLUME 19 / ISSUE 5 BELLAMAGAZINE.COM FIND PENSACOLA BELLA MAGAZINE ON FACEBOOK & INSTAGRAM Bella Staff
Liz Biggs, Alice Crann Good, Sharla Gorder, Allison McCrory, Chelsea Owens, Leslie Peck, Lisa Player, Leah Seacrest, Magi Thomley Williams
Bella is published the last week of each month and distributed free throughout Escambia and Santa Rosa counties in Florida. No portion of this magazine may be reproduced in any form without written permission from the editor. EMAIL SALES @BELLAMAGAZINE.COM OR CALL (833) 358-4486 To Advertise SEND EDITORIAL INQUIRIES AND STORY IDEAS TO KELLY@BELLAMAGAZINE.COM
May 2024 • Bella Magazine • 7 You’ve built the equity. Home Equity Lines of Credit from Insured by NCUA. NMLS# 413053 now it in. Scan to Learn More

inside this issue

COVER STORY

Coastal Perspectives Page 26

PROFILE Teachers of the Year Page 36

10 SPEND OR SAVE

12 FASHION: Come on, summer

22 BEAUTY: The sun & your skin

24 CAUSES: Bands on the Bayou gives back

26 COVER STORY: Coastal perspectives

40 LOCAL FARE: Panhandle Butterfly House

OUT AND ABOUT HERstory Soiree Page 62

44 LOCAL FARE: Pensacola Lighthouse shines light on African American history

48 LOCAL FARE: What is your favorite thing about life on the coast?

50 BODY & SOUL: Bella beach workout

52 WORTH THE TRIP: Exploring quirky coastal attractions

54 OUT & ABOUT: Junior League of Pensacola Women’s Empowerment Awards

58 OUT & ABOUT: UWF Women in Leadership Conference

64 HER PERSPECTIVE: Rock Me on the Water

66 HER PERSPECTIVE: My favorite mistake

8 • Bella Magazine • May 2024
On the cover: Model Dakota Willis summons summer in coastal fashion from Envie and Intracoastal Outfitters. Story on Page 10. Photo by Kate Treick Photography Kate Treick is a professional photographer, writer, speaker and publisher who has called Pensacola home since 2012. She and her husband, Joel, have two children and two funny little dogs. Kate enjoys doing anything creative and loves spending time with friends, leading music at her church, reading and traveling. She can be reached at kate@katetreickphotography.com.
8 5 0 3 7 7 7 5 7 8 8 5 0 6 8 6 6 5 8 8 8 5 0 7 3 6 1 1 8 1 S H E R L Y N W A G H A L T E R T E A M 4 B D | 4 B A | 4 , 0 7 8 S F 4 B D | 3 5 B A | 4 , 8 9 8 5 0 . 4 4 9 . 4 2 4 2 8 5 0 4 8 5 2 6 6 5 8 5 0 . 6 3 7 . 5 7 2 8 3 B D | 2 5 B A | 2 , 2 1 5 S F $ 3 6 5 0 0 0 0 T H E A T E A M $ 1 , 2 5 0 , 0 0 0 $ 3 , 9 5 0 , 0 0 0 $ 1 , 8 9 0 , 0 0 0 8 5 0 5 7 2 0 5 9 7 3 B D | 2 . 5 B A | 1 , 9 9 5 4 B D | 2 B A | 1 , 7 3 6 S F 4 B D | 2 B A | 1 , 7 6 8 S F 8 5 0 4 8 5 2 6 6 5 9 2 0 5 4 0 3 9 5 6 $ 4 7 5 , 0 0 0 C A R R I E C A R V E R 2 0 5 4 1 2 8 4 3 8 $ 4 5 9 , 9 0 0 $ 3 7 5 , 0 0 0 $ 6 7 5 , 0 0 0 8 5 0 4 4 9 4 2 4 2 S H E R L Y N W A G H A L T E R $ 3 9 9 , 9 0 0 8 5 0 . 7 3 6 . 1 1 8 1 M I C H E L L E C A R L S O N T H E A T E A M 4 B D | 3 B A | 2 , 7 3 2 S F $ 5 6 9 , 9 0 0 $ 7 9 9 , 9 9 9 3 B D | 3 . 5 B A | 2 , 4 7 6 S F 4 B D | 3 B A | 3 , 4 5 0 S F N A N C Y G R O G A N $ 8 2 0 , 0 0 0 B H H S P e n F e d . c o m E X P E R I E N C E D A G E N T S Y O U C A N T R U S T 8 5 0 7 7 6 2 9 5 9 5 PORT ROYAL WAY, PENSACOLA 7 COLLEY COVE, GULF BREEZE 1 PORT ROYAL WAY, PENSACOLA 8 5 0 . 7 7 6 . 2 9 5 9 J E N N Y R U S H I N G 3 B D | 2 5 B A | 2 , 2 5 0 S F F R A S I E R P H E L P S JENNY RUSHING 4 B D | 4 . 5 B A | 3 , 1 5 3 S F L O R R A I N E B R A C K I N 8 5 0 7 3 6 1 1 8 1 $ 3 , 9 0 0 , 0 0 0 $ 1 , 2 9 9 , 0 0 0 $ 3 , 9 9 9 , 9 9 9 8 5 0 6 8 6 6 5 8 8 F R A S I E R P H E L P S M I C H E L L E C A R L S O N 6 B D | 3 . 5 B A | 3 , 1 1 9 S F L O R R A I N E B R A C K I N 3 B D | 2 B A | 1 , 7 9 6 S F P E G G Y B R A U N 4 B D | 2 . 5 B A | 2 , 2 9 0 S F $ 4 7 9 , 0 0 0 7213 FLOOD REEF, PENSACOLA 3 B D | 2 . 5 B A | 2 1 4 2 S F 5 B D | 3 B A | 3 5 5 2 S F 836 Gulf Breeze Pwky. Gulf Breeze Fl. 32561 850.932.6278 17 W Cedar St. Pensacola Fl. 32502 850.434.2244 4003 BAY POINTE DR , GULF BREEZE 3310 BAYOU DR., PENSACOLA 7797 GULF BLVD , NAVARRE 1917 NOLEKA CT , NAVARRE 800 S PALAFOX ST 779 , PENSACOLA L O R R A I N E B R A C K I N 6551 SCENIC HWY , PENSACOLA 9202 GULF BEACH HWY , PENSACOLA 1212 E GONZALEZ. PENSACOLA 18 PORT ROYAL WAY, PENSACOLA 4173 SERENCA WAY, GULF BREEZE 1090 LIONSGATE LN GULF BREEZE 3848 DUNWODY DR., PENSACOLA

spendorsave

• Giambattista Valli bow front maxi dress, $3,790, nordstrom.com

• Oran sandal, $760, hermes.com

• Triomphe Metal 01 gold/green sunglasses, $550, celine.com

• A New Day knit ballet midi sundress, $30, target.com

• Hadyn cognac leather slide sandals, $59.95, stevemadden.com

• The Evangelista gold-green sunglasses, $65, banbeeyewear.com

where to shop

Target: Multiple area locations; target.com

10 • Bella Magazine • May 2024
/ PHOTOS PROVIDED

Book online appointments with Baptist Medical Group primary and urgent care providers from your desktop computer, smart phone or other electronic device. It’s simple.

1. Visit EasySchedule.com.

2. Choose a provider or location.

3. Select a time.

4. Confirm your appointment.

Once you’ve confirmed your appointment, you will have the option of receiving an email or text message to remind you of your visit. Visit easyschedule.com, or call 850.434.4080, and EasySchedule your appointment today.

May 2024 • Bella Magazine • 11
Easy Schedule BAPTIST Scheduling Made Easy! Better at Baptist

Shopping list: Texture brings the magic to 2024 swimwear and this gorgeous suit is no exception. Maaji Mexican floral one-piece suit, $211. The Cabana shirt dress from Blanco by Nature,

can take you from beach to brunch and back to the beach again without missing a beat.

12 • Bella Magazine • May 2024
$48,

fashion

SUMMER COME ON

Look for skirts, oversized accessories and textured bathing suits

Balmy May days are gracing the Gulf Coast and that’s something to get excited about!

Beach walks, saltwater dips and summer in the city are just around the corner. It’s time to lighten up the wardrobe. And Kammie Tibbs of Envie on Pensacola Beach’s Quietwater Boardwalk has some ideas — and they run the gamut.

On the one hand, playful looks like preppy polos, bows, rosettes and disco sequins are showing up. On the other, classy monochromatics in sleek simple lines ooze timeless sophistication, Tibbs noted.

Skirts from micro minis to maxis to business-y

pencil skirts are big fashion news in recent seasons. Sustainable fashion is hot with some swimwear fashioned from plastic water bottles and other refuse. Go ultra-timeless in a classic black bathing suit this summer — or choose red, purple, green or warm orange. Shimmering metallic and other textured swimwear is a pretty way to make a style splash. Cutouts in one-piece suits are trending. With sustainability reigning, dominant accessories can refresh a look without starting over. Big chunky necklaces and earrings as well as statement belts are perfect choices to invigorate your 2024 style.

May 2024 • Bella Magazine • 13

Shopping list: With Peach Fuzz reigning as Pantone’s 2024 color of the year, this fun outfit is on point.

The vibrant orange and feminine pink top team with the season’s stand-out fashion piece — a skirt, this time fun and lighthearted.

THML embroidered puff sleeve top, $84; Yanak gauze flowy skirt, $146.

14 • Bella Magazine • May 2024
May 2024 • Bella Magazine • 15
Shopping list: Classy, cool, comfortable. what’s not to love about this earthy striped matching set by Bella Dahl? Wide-leg pant, $176; boxy, button-back top, $128.

Dakota Willis

Saltwater and white sand feel like home to May model Dakota Willis.

“I grew up in Destin my whole life. I’ve lived in the same house for as long as I can remember,” said Willis, who relishes her tight-knit family and girlfriend squad.

“My favorite way to spend my free time is definitely at the beach any time I get the chance. My mom and I love to go paddle boarding on a calm day when the waves aren’t too crazy. It’s really just so peaceful. Boating is also a favorite, really just anything near the water. I also love to shop and eat the delicious seafood and food options we offer around here.”

The Destin native aspires to be a cosmetologist and currently attends school and works as a hostess at a cafe overlooking a Destin harbor.

When she’s not studying, hostessing, catching up with friends or soaking up the sun, Willis works out. Or dabbles in the kitchen creating recipes passed on from her mom.

So it’s no surprise active wear and beach casual are her go-to fashion choices.

“I love going to the gym and being active. I love any summer wear — swimsuits, cover ups, dresses etc. I’m really open to fashion and have been trying new things.”

16 • Bella Magazine • May 2024
Shopping list: This Free People Bluebell maxi dress, $168, with its subtle hues, fluid lines and easy-going aura, channels the beach spirit. And it can take you practically anywhere this summer.
May 2024 • Bella Magazine • 17
18 • Bella Magazine • May 2024

Shopping list: A denim tie skort by Free People, $88, teams for understated style with a feminine white puff top by THML, $69. Add straw accessories and layer Jennifer Ponson bracelets for an easy, coastal vibe.

About the Location

Paradise Beach Homes, 312 Ariola Dr, Pensacola Beach; 850-916-0777; paradisebeachhomes.com

Hair Compliments of All Things Nikki, 913 Gulf Breeze Pkwy., Unit 28, Gulf Breeze; 516-474-0050; Stylist Danielle Rogers

Makeup Compliments of Megan Herlocker, owner Glam on the Go Pensacola; 850-490-9517; glamomthegopensacola.com Based in Gulf Breeze, Glam on the Go offers mobile services across the Gulf Coast.

Clothes Compliments of Envie, 400 Quietwater Beach Rd, Suite 7, Pensacola Beach; 850-934-7050; tonenvie.com

Intracoastal Outfitters (Bathing suit outfit), 400 Quietwater Beach Rd., Pensacola Beach; 850-5654210; intracoastaloutfitters. com

Model Compliments of Izon Models & Talent LLC

301 N. Barcelona St., Suite E, Pensacola; 850-433-2099; izonmodels.com

Allison McCrory is almost a Pensacola native who studied journalism and has worked in writing and editing since beginning her career in 1984 with Pensacola’s afternoon newspaper, The News, before moving to the Pensacola News-Journal when morning and afternoon papers merged. The mother of two adult children, she suffers from a tennis addiction, practices yoga regularly, likes to get creative in the kitchen and has worked with children through mentoring and fostering.

May 2024 • Bella Magazine • 19

stylingthe shoot

20 • Bella Magazine • May 2024
Photography: Kate Treick / Fashion styling: Allison McCrory Where to shop: Envie Boutique & Intercoastal Outfitters Free People Gold Harbor flatform sandals, $98 Caroline Hill pink hoops, $20 Peepers Logging Out sunglasses, $30 Caroline Hill floppy straw hat, $38 Jennifer Ponson bracelets, $48 each Hobo sable clutch, $108 Jennifer Ponson magenta drop necklace, $108
May 2024 • Bella Magazine • 21
Jennifer Ponson turquoise drop earrings, $48 Vintage Havana pink star logo sneakers, $124 Hobo Cara crossbody bag, $98 Logo Motion Blue Angel towel, $40 KAVU rope sling crossbody bag, $60 enewton bracelets, $48-$78 Kendra Scott flower hoop earrings, $80 Caroline Hill straw beach bag, $64 Free People Santorini espadrille sandal, $148

The do’s and don’ts of

The sun & YOUR SKIN

Spring weather is upon us and along with that come many days enjoying the water, beaches and everything outdoors. Although the sun can give your days a happy boost, make sure to protect your skin before going out to soak up some vitamin D. Prolonged sun damage will cause premature wrinkles and can cause skin cancer over time. Protecting your skin should be a priority every day of the year but especially during this season.

• Use a mineral sunscreen of SPF 30 to 50 that blocks UVA and UVB rays every single day, yearround.

• Apply sunscreen on cloudy days. Overcast skies can sometimes give us a false sense of security against harmful rays, but all skin tones can still burn on any day including gloomy days.

• Make sure to put on sunscreen before you leave the house, not after you are already in the sun. Sunscreen works best after it sets into the skin.

• Always reapply sunscreen after two hours of sun exposure, sweating or being in the water.

• Use hats and UV-protective clothing to cover your skin.

• Stay out of the sun and be very cautious of any sun exposure for at least two weeks following any cosmetic laser, peel or microneedling.

22 • Bella Magazine • May 2024

DON’T

• Don’t forget to use sunscreen on your lips, ears, neck, feet, head (especially if your hair is thin) and hands. We wash our hands often so always remember to add sunscreen to your hands when going outside.

• Don’t spend long periods of time in the sun when taking new medications. The sun can create photosensitivity in any skin type, but mostly fair skin, with certain meds. Always ask your doctor about possible sensitivities when any medications change.

• Don’t rely on spray sunscreens. Lotion sunscreens are best to give full coverage protection.

• Don’t think all sunscreens are the same. Do your research and read labels. Look for broad spectrum SPF 30+ and key ingredients titanium dioxide and zinc oxide.

• Don’t skip getting your skin checked yearly with your primary care doctor or dermatologist. If you have moles, always keep an eye on any changes in size and color and have them checked regularly.

• Don’t think that if a sunscreen is waterproof, you don’t need to reapply. Always reapply after getting in the water.

May 2024 • Bella Magazine • 23
Leslie Peck is a local makeup artist, aesthetician and lash artist with almost two decades of experience. She has worked 11 seasons of NYC Fashion Week as well as several beauty shoots while living in New York City. Leslie also has experience in TV, film, print and celebrity makeup in Los Angeles. She specializes in bridal makeup, skincare education and was featured on the front page of the Wall Street Journal in 2007.

causes

Bands on the Bayou Gives Back

Bands on the Bayou is a community-centric concert series that gives back locally. Brought to you by the East Hill Neighborhood Association, the nonprofit was formed in 2021 with the goal of bringing residents together at Bayview Park and supporting local non-profit organizations in our community. Concert-goers bring chairs and coolers and enjoy live music in a beautiful outdoor venue overlooking Bayou Texar in the historic East Hill neighborhood of Pensacola. Boat access is also available.

Through generous contributions of sponsors, this concert series is open to the public for FREE! Individual donations are appreciated, however, with all proceeds benefitting local charities. The event is organized by a committee of volunteers and supported by local businesses that provide financial as well as in-kind contributions.

According to Lauren Gund, BOTB committee chair, a primary goal of the concert series is to raise money for local Pensacola charities. The inaugural Bands on the Bayou concert in July of 2021 raised nearly $4,000 for Big Brothers Big Sisters of Northwest Florida, O. J. Semmes Elementary School, and the Al Condon scholarship fund. In 2022, $24,000 was raised and donated to these six nonprofits: Gulf Coast Kid’s House, O. J. Semmes Elementary School, Pensacola Little

Theatre, PenArts, Ocean Hour and Emerald Coastkeeper.

“In 2023, we selected six nonprofit organizations (two for each concert) to become recipients of the proceeds. In total, we raised $48,000 for those deserving organizations,” Gund said.

The 2023 non-profit recipients were: BFA Clean Water Advocates, From the Ground Up Community Garden, AMIkids, Valerie’s House, Chain Reaction and Bluffline.

The non-profit recipients selected for 2024 are: Dixon School of Arts and Sciences, Bike Pensacola, Rally Foundation, Pensacola Children’s Chorus, Survivor-Led Solutions and Upward Intuition.

2024 MUSIC LINEUP

May 24: Ben Loftin & The Family

According to their website, Ben Loftin & the Family is from Pensacola, “where the band’s signature ‘white sand soul’ continues to be heavily influenced by the rich musical cultures of the Gulf Coast.” The group formed in 2013. Band members are founding singer/songwriter and guitarist Ben Loftin, drummer Christian Sanders, saxophonist Austin Paul Jr. and bassist Marcus Gillard. They produce “a vibrant blend of pop, funk, soul and reggae at a range of venues across the southeastern United States.”

Crowd pleasers Ben Loftin & The Family kick off the 2024 concert series on Friday, May 24. The July 27 concert features Pensacola’s favorite rockers, Cowboy Park (formerly known as DLP) and the Bay Bridge Band will perform on October 5.

All concerts are from 6:30-8:30. Enjoy a line-up of delicious fare from food trucks, with an emphasis on fresh ingredients and unique treats to share with family and friends. Add these dates to your calendar and enjoy live local bands while raising money for charities that are near and dear to many hearts.

July 27: Cowboy Park

Cowboy Park (formerly DLP) is a rock band comprised of local doctors, lawyers and politicians. Band members are City Council Vice President Jared Moore (vocals and guitar), Election Security Advisor David Stafford (drums), doctor Sidney Rosenthal (lead guitar), attorney Charlie Wiggins (bass) and attorney Jack Zoesch (keyboards). Cowboy Park has entertained Pensacola audiences for over 10 years at such venues and events as the Fish House, Seville Quarter, the Handlebar, New Year’s Eve Pelican Drop, DeLuna Fest and the inaugural Bands on the Bayou concert. Cowboy Park takes great pride in the fact that it was the band playing on the dock on a late summer night that gave inspiration to the Bands on the Bayou concept.

Oct. 5: Bay Bridge Band

This local band came to be in 2014 when “John Drummond, Steve McWilliams, Billy Spencer and Bill Baker — who played together through the years in the Milton High School Band, garage bands and in church music programs — decided to put together a group to play the music of our favorite bands from the ’60s, ’70s and ’80s. After a few rehearsals, it was clear that we were going to need a full horn section to pull off the great tunes by Chicago, The Doobie Brothers and Steely Dan, just to name a few,” according to their website. They then added trombone player Gene Belser, saxophonist Rodney Brown and “powerhouse female vocalist” Ami Russ. Finally, “saxophonist Rod Hamilton and trumpet player Chuck Wyatt were added to round out this incredible eight-person ensemble.”

WANT TO GO?

• What: Bands on the Bayou concert series

• Where: Bayview Park and Community Center, 2001 E. Lloyd St., Pensacola

• When: 6:30-8:30 p.m., May 24, July 27 and October 5

• Info: bandsonthebayou.com

24 • Bella Magazine • May 2024
May 2024 • Bella Magazine • 25 SHOWROOM LOCATION: 698 W. GARDEN ST., PENSACOLA BY APPOINTMENT ONLY: 850.432.2220

Coastal cover story perspectives

It may appear Margeaux Donovan Gibson, Abigail Remke and Amy Minchin thrive in disparate professional worlds, but they share common ground in their respective fields. All incorporate a coastal posture.

COASTAL STAMINA

Standing on a second-floor porch overlooking the boundless Bayou Texar backdrop of her home and office, Margeaux Donovan Gibson explains how coastal life suits her holistic approach to her practice as a licensed mental health counselor.

“With the holistic approach, you take into account mind, body and spirit,” Gibson said. “Research repeatedly shows that time in nature, especially on the coast, even for two hours per week, is associated with a greater sense of well-being.

“Struggles surrounding self-esteem, anxiety, depression and issues related to chronic disease have all been shown to improve with just a little dose of nature,” she said. “Some studies even suggest ‘the nature pill’ can be as effective as Zoloft for anxiety.”

Living on the coast also promotes stamina via an active lifestyle, whether it’s walking, jogging or participating in water sports and swimming — all activities that open the door to vitamin D, Gibson said.

“The Gulf Coast is a geographical area that offers bio-available vitamin D 365 days of the year, and it only takes about 10-15 minutes outside without sun protection to get your daily dose,” Gibson said. “It’s important to gradually begin exposing our skin to the sunlight in the spring so that we can withstand more time outside in the summer, and to aim for mid-day sun exposure in the winter months.”

Think of summertime as a time “to recharge our mental health batteries” so that we can survive the colder months without seasonal depression, she said.

“Vitamin D, specifically from natural sunlight, is

26 • Bella Magazine • May 2024
May 2024 • Bella Magazine • 27
28 • Bella Magazine • May 2024
“The crashing waves of the Gulf Coast create a release of negative ions into the air. These negative ions purify the air and increase the amount of oxygen that reaches the brain, relieve stress, anxiety and depression and also improve sleep and cognitive function.”— Margeaux Donovan Gibson, M.A., Pensacola licensed mental health counselor

well-known to be associated with better sleep, a reduction in oxidative stress and inflammation,” Gibson continued. “It also decreases symptoms and severity of anxiety and depression. A healthy body typically equals a healthy mind, but sunlight plays a huge part in this equation.”

And consider the power of the coast’s negative ions.

“The crashing waves of the Gulf Coast create a release of negative ions into the air,” Gibson said. “Negative ions are molecules in the air with an extra electron, which gives them a negative charge, and are created by moving water or colliding water molecules. These negative ions purify the air and increase the amount of oxygen that reaches the brain, relieve stress, anxiety and depression and also improve sleep and cognitive function.”

Gibson thinks this is a great reason to sit on the shore of the Gulf when the surf is especially rough.

“Perhaps this is why surfers are so calm. And, why it is believed that people naturally have a more stress-free, lower pace of living in a beach setting.”

Let’s face it, Gibson said, healthy coastal life offerings abound.

“While I was living on Pensacola Beach in an early marriage in 2012 as a brand-new psychotherapist and yoga teacher, my husband and I often joked together that the island healed us from all of our ails,” Gibson said.

“It was indeed one of the happiest times of our lives, despite ample stress and transition.”

ECSTATICALLY COASTAL

It’s tough not to use every cheerful synonym that comes to mind when trying to introduce the bubbly Abigail Remke. Bubbly even seems a tad cliché.

But, hey, we are talking about a fabulously sunny University of North Florida/Hicks Honors College student majoring in civil engineering with an emphasis on port and coastal engineering.

Through the Hicks Honors College, Remke was a part of the 2023 Honoring the Ocean program sponsored by Florida Institute of Oceanography with

PELVIC FLOOR PHYSICAL THERAPY

Urine or fecal leakage throughout the day or during exercise

Urinary urgency or frequency

Inability to empty bladder completely

Frequent trips to the restroom at night

Pain during or after intercourse

Persistent low back or hip pain

Postpartum weakness & discomfort

Rectal pain

Abdominal separation or weakness

Recurrent abdominal pelvic symptoms after surgery

Pubic bone pain during pregnancy

May 2024 • Bella Magazine • 29
Surgery or medication doesn't have to be your only option. Dr. Justine W. Roper PT, DPT
is your option for optimal Pelvic Floor Health! Experiencing any of these symptoms? Visit us TODAY! We accept insurance. Give us a call! No doctor's referral needed, start your journey to optimal pelvic health today! 1108 Airport Blvd. Unit C Pensacola, FL 32504 850.483.0586 inherphysique.com
30 • Bella Magazine • May 2024
A University of North Florida/Hicks Honors College student majoring in civil engineering with an emphasis on port and coastal engineering, Pensacolian Abigail Remke said she married her love for surfing and the coast to her academic life. Photos provided by Abigail Remke

five state university honors colleges, exploring interdisciplinary approaches to addressing critical issues facing Florida’s coastlines and oceans. Whew! Did you get all that?

Oh, one more happy point. This exceptional academic is a phenomenon in the surf world, a distinction that surfaced at an early age.

“I was a very typical young girl who loved the water until I was about 9 years old,” Remke chimed in. “That’s when everything changed, and I truly found what I loved. My parents got me a surfboard for my 9th birthday, and I instantly fell in love. That summer, I went to Innerlight’s Surf Camp multiple times and knew that this would be the sport and hobby I did forever. I even ended up working for Innerlight Surf Camp and doing private lessons for them for many summers.”

She said she picked up surfing extremely fast and started competing with the National Scholastic Surfing Association and Eastern Surfing Association in the fall of 2011.

The following spring of 2012, Remke competed in her first major contest, the NSSA East Coast Championships, and continued to compete at a high level throughout high school at Pensacola Catholic.

Her “biggest wins” — the NSSA Nationals in Explorer Longboard in 2018 in Huntington Beach, California, and the ESA Southeast Regionals Women’s Longboard Division in 2021 and Women’s Shortboard Division in 2022, both in Melbourne Beach, Florida.

“I was on the Eastern Surfing Association All-Star team all throughout high school and a team mentor my freshman year of college,” Remke said. “I was able to travel to Hawaii for training all five years.”

Competing from a young age meant traveling “to cool places,” spurring her love of surfing and making friends from across the country. Along with her surfing compadres, Remke travels around the world for contests and surf trips — including forays to Mexico, Nicaragua, Puerto Rico, Hawaii and all over the East and West Coasts.

“When choosing colleges, I knew

May 2024 • Bella Magazine • 31

I wanted to stay on the coast, and I especially knew I wanted to go to a school with a surf team,” Remke explained. “I competed at many contests in Jacksonville throughout high school, so when looking at colleges, University of North Florida already felt like a home away from home.

“Once I joined UNF’s surf team, I met some of my closest friends and fell in love with spending time at the beach all over again, only this time on the Atlantic instead of the beautiful Gulf,” Remke said. “I still continue to compete with NSSA through college now and ESA individually, but college has created a whole new love of the coast.”

Remke said she married her love for surfing and the coast to her academic life, as she studies civil engineering with an emphasis on port and coastal engineering.

“I have been able to take many classes to learn more about the dynamics of water in general, but specifically why and how waves break,” Remke said. “I have been able to learn about the different types of sand and how they benefit different beaches or surf breaks. Another very interesting thing I have learned is how piers, jetties and coastal structures can hurt or help beaches and sandbars.”

All of this has allowed her to add to the information of the coast she already has and really learn how she can help the environment through coastal engineering.

“This summer I am interning at Taylor Engineering in Jacksonville on their Waterfront Engineering team,” Remke said. “I am very excited to continue working toward my career goals of helping the environment through bettering the structures on our coastlines.”

The crux of it all for Remke is clear.

“The coast will always be a special place to me. No matter where I am in the world, I know if there is a coast nearby, I will always be able to find a home away from home, a place where I can de-stress, and truly enjoy all of my surroundings.”

The coast has led her to best friends, a career passion and has also helped her

COASTAL WAY TO HEALTH

Check out these beneficial coastal living tips from Margeaux Donovan Gibson, M.A., Pensacola licensed mental health counselor who uses a holistic approach:

• Do some grounding exercises: Get those bare feet in the sand! Helps fight anxiety, improves focus and more.

• Take a cold plunge in the Gulf of Mexico: During colder months, this reduces inflammation and improves mental health.

• Meditate in nature: Focus your attention on the sound of the waves. Inhale as the tide recedes, and exhale as the waves crash on the shoreline.

• Download the D Minder app: Spend some time in the sun without sunscreen or sunglasses safely for maximum Vitamin D absorption.

• Put your phone in airplane mode: Do this for a few minutes while enjoying the beach!

• Stop into a local seafood restaurant/market: Fresh seafood is incredible for brain and mental health. Studies show that a regular diet of fresh seafood rich in Omega 3 fatty acids can reduce depression by 20%. Vitamins and minerals found in shellfish and fish, such as magnesium, zinc, iodine, B12 and D, are associated with a calming effect on the body and mind as well as a positive and more stable mood.

create some of her favorite memories.

COASTAL EXPRESSIONS

Writer Amy Minchin grew up in Tuscaloosa, Alabama, and lived and worked in Birmingham and Mobile before calling Gulf Breeze home in 2009.

The wife and mother of three teen daughters worked in corporate communications in the financial industry for 13 years before becoming a full-time freelance writer and communications contractor in 2012. She currently works with ABC Group, a public relations firm serving the transportation industry, while growing her freelance writing opportunities.

“Writing about the coast sort of evolved organically,” Minchin explained. “I started writing about life on the coast back in 2014 when I started a WordPress blog called ‘Sand in My Minivan’ about my family’s vacation adventures and activities around the

Pensacola area.”

The feedback she got spurred her to grow her reach.

“Friends who read my blog would ask me if I’d ever written about places they wanted to visit, to help them plan their vacations. People I didn’t know would contact me on Instagram to ask my opinion about local tourist attractions and restaurants,” she said.

“I didn’t set out to be an influencer like many of today’s bloggers and social media personalities do, which is probably a good thing since my kids would cringe to see their mom on TikTok,” Minchin said. “But, in a sense, I guess my hobby blog and the other writing assignments have made me an influencer to a degree.”

As waves rolled in on the Gulf Coast’s white sands, Minchin picked up more freelance writing jobs, covering the area for Visit Florida, working with the University of West Florida on various publications and contributing to Visit Pensacola’s blog.

Now finding herself immersed in the coastal way of life, Minchin professionally and personally embraces her popular longitude and latitude.

And she generously shares it.

“A few years ago, I started taking an annual girls’ trip with two of my college friends, Bess and Sherry,” Minchin said. “They live in Memphis and Birmingham, and every year we talk about where we should go, maybe visiting different cities, but so far, we’ve always chosen to spend our girls’ weekend on the Gulf Coast.

“All three of us are busy moms, and even though we like to explore new places, nothing has won out over relaxing at the beach,” she said. “We put our beach chairs in the sand or head out to float in the waves, and we talk for hours catching up on our marriages, our kids, our jobs, everything really until the sun sets. I look forward to this so much, and it keeps our friendships close.”

She said it all goes back to enjoying that slower pace at the beach and being with the people you care about.

As easy as leaning back in a beach chair, Minchin openly shares her sentimental position.

32 • Bella Magazine • May 2024

Amy Minchin grew up in Tuscaloosa, Alabama, and lived and worked in Birmingham and Mobile before calling Gulf Breeze home in 2009. Minchin works with ABC Group, a public relations firm serving the transportation industry, while growing her freelance writing opportunities.

“I like writing about the Gulf Coast because it is where I spent time with my favorite people,” she said. “I grew up as the daughter of small business owners who worked long hours, but they made time to visit the beach a few times a year. I have great memories here with my parents and sister, and much of our extended family.”

That lifelong connection buoys her spirit.

“To be able to walk the same beaches, play in the Gulf, enjoy delicious seafood and be together in this beautiful environment with my own family has just felt natural to me. It’s a tradition I’m carrying on, and I wouldn’t want it any other way.”

Living on the coast reinforces a strong sense of community, too, Minchin said.

“Pensacola is truly a melting pot of people from all over, especially with the military bases nearby, and we’ve found that most people are genuinely welcoming when new people move into the area.”

Her family did not live here in 2004 when Ivan hit, but they were here through Hurricane Sally, the Pensacola Bay Bridge being out and the coronavirus pandemic.

“It is comforting to know that neighbors are looking out for one another through tough times,” Minchin said. “That is part of what defines community on the coast.”

Award-winning writer Alice Crann Good spent about 20 years as a journalist for Gannett’s USA Today and Pensacola News Journal; accolades include the Scripps Howard Foundation| National Journalism Award. Alice spent seven years as a communications specialist for Pensacola State College and is author of Betsy the Bookworm children’s book series, available worldwide.

May 2024 • Bella Magazine • 33

profiles

Teachers of the Year

Escambia, Santa Rosa counties honor the best of the best local educators

Cassi McGee

Stockbroker turned Teacher of the Year

Pure shock!

That’s what Escambia County Teacher of the Year Cassi McGee felt when she heard she won the title of the county’s most inspiring educator.

“As teachers, we go into our classrooms and close the door and teach our hearts out each day. We give our best to our students day in and day out for years while only expecting a reward of watching our students make academic gains,” said the Pine Meadow Elementary teacher.

“So, to be recognized and celebrated on this scale is not something I ever imagined happening.”

McGee’s principal, Dawn Morris, called witnessing McGee in action “beautiful.”

“Mrs. McGee is very passionate not just about teaching but about building a love of learning that will last a lifetime,” Morris said about the fourth-grade teacher who left her career as a stockbroker to pursue her childhood dream.

Morris said when she walks into McGee’s classroom the vibe is much like a family reunion, complete with a dining room table. The sense of a healthy community is strong. Children frequently praise and work well together, following their teacher’s example.

“She really is amazing. She just shines bright. She lets her light shine for others and brings everybody into her fold,” Morris said.

RELATIONSHIP FIRST, LEARNING SECOND

Those stellar outcomes are the result of

36 • Bella Magazine • May 2024
Continued on Page 38
/ Photos by Kate Treick Photography

Christal Bennett

Santa Rosa teacher builds bands and lives

A “happy accident” resulted in the Santa Rosa County Teacher of the Year finding her life calling.

Central School teacher Christal Bennett immersed herself in choruses and musical performances as a grade schooler — soaking up every melodious moment. So it was only natural to sign up for chorus when entering sixth grade.

“However, a guidance counselor accidentally put me in band instead. I ended up sticking with band from sixth grade until now,” explained Bennett, who is forever “grateful for the mix-up.”

The rest of the teacher’s young life is an upbeat history including teaching seventh through 12th grade beginning and advanced band and percussion, color guard, ukelele and guitar at Central, a K-12 school. She spearheaded the formation of the school’s first marching band, which is already garnering excellent marks at competitions.

And of course, being named Santa Rosa County’s top teacher, which Bennett called overwhelming given the county’s many stellar teachers.

Bennett’s passion for excellence leaves a wide ripple effect, noted her principal, Klinton Lay.

“Her commitment to nurturing musical talent has resulted in an increase in students being accepted by audition into All-County Band, All-State Honor Band, college honor bands and community bands. In fact, one of her students even earned the prestigious position of first chair for the state,” he said.

MUSIC IN HER BLOOD

Bennett’s love story with music started at an early age.

“As far back as I can remember, my family had weekly karaoke parties, where I was first encouraged to perform and sing for others. It was so much fun because no one worried about sounding good. It was more important to have

May 2024 • Bella Magazine • 37
Continued on Page 39

investing in the relationship before imparting knowledge, noted McGee.

“Excellent teachers care about their students as people. My success as a teacher comes from first showing my students that I respect them and want to know them as individuals. A mutual relationship of trust must be formed between the teacher and the student and their family,” explained McGee, who, once trust is won, goes for academic achievement with her own personal bag of tricks.

“After that strong foundation is formed, patience and a flair for the dramatic is helpful! Learning should be fun, after all,” mused the graduate of Escambia County schools who attended Florida State University.

“She only goes for the good,” said Morris. “With the positive reinforcement and the encouragement she gives, they want to work for her, they want to please her and because of that, they give their best effort every day. She gives her best, so they give their best.”

Not only has McGee created a great classroom community, her students — from the highest to the lowest — typically have strong learning gains. As Morris points out, raising learning gains on the high achievers is not an easy feat.

“Almost every child in her room made a learning gain, whether they were high achieving or low achieving,” Morris explained. “She’s not just teaching to the middle; she’s teaching every child in every way.”

LIVING HER PASSION

Not only does McGee create a thriving classroom that includes special needs learners where learning and joy abound, she also leads the school’s winning Sunshine Math team. As a former finance major and stockbroker, the skill sets fit.

The transition from manipulating money for gain to maximizing student lives was a decision that came straight from the heart.

“I love to see student growth! Watching a person gain knowledge is the most rewarding experience I could have,” she said. “My day is never work. I genuinely love and enjoy teaching.”

McGee treasures a wealth of memories since launching her teaching career in Tallahassee in 2003.

“I have so many memorable moments over the past 20 years. I especially love when my previous students get in touch with me to update me on important moments in their lives. It means a lot that they care enough to continue including me in their lives.”

She is proud to be recognized as Escambia County’s Teacher of the Year and offers praise to her fellow boots-on-the-ground educators.

“It is amazing, exciting and humbling to be chosen to represent all of the amazing Escambia County teachers who teach their hearts out every day.”

38 • Bella Magazine • May 2024 Clothing | Jewelry | Accessories 850.432.1264 | @bluetique_pensacola 125 PALAFOX STREET, DOWNTOWN PENSACOLA
McGee continued

fun with the people you love,” said the eldest of seven siblings.

When she was a sixth-grader, Bennett’s dad gifted her a guitar for Christmas.

“This helped me bridge the gap between my vocal performance and instrumental performance interests.”

In middle school, Bennett’s band director noticed her long fingers and quick mind and suggested she switch from clarinet to bassoon. It is her main instrument to this day, playing for the Pensacola Civic Band and hiring out for other professional music events. She has acquired basic skills in flute, clarinet, saxophone, trumpet, French horn, trombone, euphonium, tuba and percussion.

“I still play guitar, and now ukulele, as singing is still a big part of how I enjoy processing music.”

SHAPING YOUNG LIVES MEASURE BY MEASURE

Bennett not only fell in love at a

young age with making music, but also the life-building benefits of band class.

“As the positive outcomes of being in a band classroom began to affect me personally, I began to aspire to be a band director, as early as in seventh grade. Music education was changing my outcome in life and my outlook on life, and I wanted to provide that same life-changing experience to my own students,” said the graduate of Santa Rosa schools and the University of West Florida.

And that is exactly the life score she composed.

“My favorite part of teaching music is seeing the pride it instills. Playing an instrument does so much for the human brain, body and spirit,” said Bennett, ticking off a laundry list of benefits like accountability, teamwork, goal-setting and good old-fashioned fun.

“When they present these skills at a high level, it brings a sense of pride unlike any other. There is no greater reward than knowing we did that

together thanks to your part.”

Besides relishing playing and teaching several instruments, Bennett loves empowering students to be leaders. Case in point: a student leadership team that was an integral part of bringing the dream of a marching band to fruition. Good grades, improved behaviors, musical strength and synergy were added gains.

“In the founding of a marching band, the rigorous camps, fun football games, musical memories and new traditions created a student lead community in which they played a significant role — not just an instrument!”

Lay sees it too.

“From accountability and teamwork to determination, respect, self-discipline and social skills, Mrs. Bennett instills in her students invaluable attributes that extend beyond the realm of music education.”

And that’s what takes Christal Bennett’s teaching from exceptional to magical!

Imagine your home, totally organized! Custom Closets Garage Cabinets Home Offices Wall Beds Wall Organizers Pantries Laundries Wall Units Hobby Rooms Garage Flooring Media Centers and more... Call for a free in home design consultation and estimate 850-400-6677 www.closetsbydesign.com 40% Off Plus Free Installation 15% O ff PLUS TAKE AN EXTRA Terms and Conditions: 40% off any order of $1000 or more or 30% off any order of $700$999 on any complete unit order of custom closet, garage, or home office, and any other products Take an additional 15% off on any complete system order. Not valid with any other offer. Free installation with any complete unit order of $850 or more. With incoming order, at time of purchase only. Offer not valid in all regions. Expires May 30, 2024 SPECIAL FINANCING FOR 12 MONTHS With approved credit. Call or ask your Designer for details. Not available in all areas. Locally Owned and Operated
Bennett continued
40 • Bella Magazine • May 2024

local fare

The Beauty of Nature

at the Panhandle Butterfly House

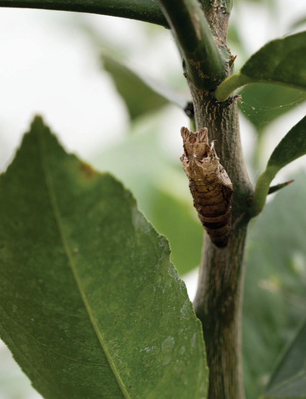
Ensconced in Santa Rosa County lies a fantastical surprise for visitors, the Panhandle Butterfly House & Nature Center. As a program of the nonprofit Keep Santa Rosa Beautiful, the vivarium (natural habitat for butterflies) opens its doors each season to unveil the enchanting world of butterflies and other wonders of nature. Each Spring, the pollinator gardens are readied for visitors to immerse themselves in the breathtaking spectacle of colorful, fluttering wings. This year they expect to welcome over 200 newly emerged butterflies. What goes into creating this ethereal experience? Louise Biernesser, program chair for PBH and secretary for Keep Santa Rosa Beautiful, sheds light on the intricate process, from ordering hundreds of delicate butterflies to thoughtfully curating educational displays. Each butterfly is a unique blend of beauty and grace, reminding volunteers and guests of the reasons for preserving their fragile existence.

Along with the awe-inspiring beauty, there lies a solemn responsibility. Biernesser explains that there are rigorous protocols in place to safeguard

May 2024 • Bella Magazine • 41
Photos by Kate Treick Photography
42 • Bella Magazine • May 2024 InspiredClosetsPensacola.com • 3603 N. PALAFOX, PENSACOLA (850) 860-6119 • Open 9 a.m.-4 p.m. Monday-Thursday Where Inspired Days Begin

against bacterial diseases and parasitic threats that could jeopardize the delicate balance of this sanctuary. With strict adherence to standards set by certified breeders, every effort is made to ensure the well-being of the gentle inhabitants.

PBH serves as a source of education and conservation, offering visitors a glimpse into the lifecycle of these magnificent creatures. From egg to caterpillar, chrysalis to butterfly, each stage unfolds with its own unique charm, captivating hearts and minds alike. PBH is committed to housing only live Florida-native butterflies in the vivarium, allowing visitors to learn about the butterflies they may encounter in their backyards and throughout nature. In addition to live butterflies, guests can enjoy a collection of more than 300 mounted butterflies from all over the world, donated by local butterfly enthusiast

WANT TO GO?

• What: Panhandle Butterfly House & Nature Center

• Where: 4966 Henry Street, Milton,

• Hours: Admission hours and days are dictated by butterflies and weather, but the vivarium is typically open from 10 a.m. until 2 p.m., Wednesday through Saturday, from late March through early December.

• Info: 850-741-9077 or panhandlebutterflyhouse.org

Tom Grow.

Through engaging programs and interactive exhibits, PBH docents teach conservation and preservation, inspiring future stewards of the environment. A walk through PBH is a mesmerizing experience that transcends generations. Biernesser recalls the joy of witnessing children marvel at nature’s wonders as they frolic through the grounds.

The caretakers of the PBH have a vision that extends beyond the confines of the vivarium, encompassing broader initiatives aimed at nurturing a culture

of environmental stewardship. From coastal cleanups to educational programs on native flora, Keep Santa Rosa Beautiful is committed to nurturing a harmonious relationship between humanity and nature.

As visitors meander along the milelong nature trail adjacent to PBH, they are reminded of the interconnectedness of all living things, and the path towards a sustainable future where nature thrives, and humanity coexists in harmony.

PBH invites visitors to a place where beauty meets purpose, a tranquil place where dreams take flight on delicate wings.

Magi Thomley Williams, ACB, ALB is a corporate consultant, writer, speaker and trainer at Thomley Consulting. She can be reached at Magi@ThomleyConsulting.com

May 2024 • Bella Magazine • 43
Love your
again Schedule a FREE consultation! Our showroom is open Monday-Thursday, 9 a.m.-4 p.m. 698 W. Garden St., Pensacola | (850) 332-2100 | gcshadesandblinds.com Based in Pensacola, our team of window treatment experts have over 20 years’ experience helping our customers select the best custom shades, shutters, or blinds for their homes and businesses.
CUSTOM ROLLER SHADES, BLINDS, PLANTATION SHUTTERS, WOVEN GRASS,
AND
DRAPERY
windows

local fare

Pensacola Lighthouse

Shines light on African American history

Pondering all that has happened to illuminate the long-ago contributions of African Americans at the Pensacola Lighthouse, Jon Hill literally stands at the beginning of a new path — Hart’s Hammock and Archaeological Park.

“When complete, it will be an interpretative trail featuring prominent African Americans from a maritime perspective, from about 1866-1920,” said Hill, executive director of the Pensacola Lighthouse and Maritime Museum aboard Pensacola Naval Air Station.

Thanks to Impact 100 and Florida Department of State/Florida Division of Historical Resources funding, the project, now several years in the works, includes reforesting to create a natural park, a storytelling circle, and the recreation of the Hart Homestead — a two-room house with an attached kitchen, chicken coops and productive orchards “that will look like the Harts still live there,” Hill said.

A June grand opening is being planned.

44 • Bella Magazine • May 2024
Photos by Kate Treick Photography
May 2024 • Bella Magazine • 45
Clockwise from left: The Pensacola Lighthouse and Maritime Museum. There will be an exhibit with a path winding through that highlights notable African American leaders in 19th and 20th century Pensacola. The porch of the new museum is based on photographs of the original along with excavation of the footprint of the original building. There is a story circle where groups will come to hear about the history of this exhibit and the lighthouse.

WANT TO GO?

• What: Pensacola Lighthouse and Maritime Museum

• When: 9 a.m. to 4 p.m. daily; last admission sold at 3:40 p.m. New park opens in June.

• Where: Pensacola Naval Air Station. Use West Gate only, south end of Blue Angel Parkway.

• Cost: Adults, $9.50; 12 and under, 65 and over, and military, $6.50

• Info: pensacolalighthouse.org

Hill said while the archaeological park will serve as an outdoor exhibit that interprets the life, legacy and contributions of Charles Hart and others with similar stories, it is a momentous “opportunity for the Pensacola Lighthouse museum to reflect the diversity of this community more accurately in the interpretation of the site, and to present a much-needed, fresh perspective on the history of the lighthouse and its surrounding area.”

The project has spurred similar endeavors at lighthouses across the United States, Hill said. “We are all talking, finding and telling these stories,” he said.

Standing outside the Hart Homestead site, Hill said, “I have a passion for all history, particularly about a story that has not been told and should be told, a story that tells how we went from an integrated society to Jim Crow. This is an empty page in our history book.”

A University of West Florida graduate who studied archaeology and history, Hill explained how this part of Pensacola’s African American history was excavated.

According to information provided by Hill, recent excavations on the lighthouse grounds uncovered the possible mid-19th century homestead of Charles Hart, an African American enslaved laborer who helped construct many facilities aboard the Navy Yard – including the lighthouse. Using oral histories from Hart’s descendants, especially his 93-year-old granddaughter Marlene Thomas of Pensacola, historical documentation and new archaeological data, the Hart story came to life.

With the 177-step, historic Pensacola Lighthouse built in 1859 towering behind him, Hill scans his place of employment since 2008.

He said the nonprofit stays alive via grants, state monies, tour income, a staff of 15, 60plus volunteers and abundant teamwork. He credits the museum research team and the late president emeritus Dick Callaway for seeing Hart’s Hammock and Archaeological Park come to fruition.

“This project has been a group effort all the way around,” Hill said.

46 • Bella Magazine • May 2024 Beautiful SHOWROOM & DESIGN STUDIO: 4109 N. DAVIS HWY, PENSACOLA coastal finishes

LEFT: This hundreds-year-old oak stands over the original home; you can imagine the original families enjoying the space underneath or children climbing its branches. ABOVE:

“I have a passion for all history, particularly about a story that has not been told and should be told, a story that tells how we went from an integrated society to Jim Crow. This is an empty page in our history book,” said Jon Hill, executive director of the Pensacola Lighthouse and Maritime Musem.

May 2024 • Bella Magazine • 47
(850) 855-0597 500 N. 9th Ave. Pensacola kristin.nestinteriors@gmail.com n e s t i n t e r i o r s i n c b y k r i s t i n b o u c h a r d

start your weekend at jackson's!

FRIDAY LUNCH

EVERY FRIDAY FROM 11:00 AM TO 2:00 PM

JACKSONSRESTAURANT.COM RESERVATIONS ENCOURAGED 850-469-9898

“There’s something about the sound of the waves and the smell of salt in the air that speaks to my soul. No matter how stressful my day has been, looking out over the water calms me and brings peace. Being near the water feels like home.”

— Carrie Gaut, administrative support, Regenerative Medicine and Pain Management Physicians

48 • Bella Magazine • May 2024

What is your favorite thing about life on the coast? local fare

This month we asked Bella readers to share their favorite things about life on the coast. People, weather, events and lifestyle are a few of the reasons we love life on the Gulf Coast. Here are a few of our readers’ top picks. What do you like best? Visit our Facebook page and let us know!

“My favorite thing of all is that we are the home of the Blue Angels. Growing up in a Navy family, I developed a strong love and support for all military and the Blue Angels are a great symbol for our freedom. There is nothing like hearing the sound from the air show followed by the cheers of the people; they make me proud to be an American.”

— Cover Brooks, CPFA, financial advisor, The Palafox Group at Morgan Stanley, Morgan Stanley Wealth Management

“Everywhere I drive during my workday I get to see the water. It could be Escambia Bay as I drive to Milton or Pace, Pensacola Bay as I cross the bridge to Gulf Breeze, the Blackwater River and East Bay on my way to Navarre. I am in awe of the ever-changing beauty of it all.”

— Susan Clark, community relations, Granny NANNIES

“I love that I can go to the water to sit in the sand and relax; I can swim in the water and exercise, and I can ride in a boat to play. I love that I can watch beautiful sunsets on the water. But most of all, I love that I don’t have to own a snow shovel!”

— Susan Bonsignore, public relations, Blue Arbor

“I’m lucky to work in a nonprofit and alongside like-minded coworkers dedicated to serve others. The network of friends over the years has created a sense of family for me and my family. And the landscape, how can you have a bad day when you are minutes from a beautiful downtown community, a beach with endless views or a trail tucked ahead to hike?!”

— Mary Zaledonis, vice president of Impact Services, United Way of West Florida

“I love the weather, the laid-back social lifestyle and the people!”

— Katie Schutts, associate director of alumni relations at UWF

“I was born and raised in Pensacola, but it wasn’t until I moved away that I realized just how special it is here. I returned home after 25 years of living coast to coast; I now fully appreciate our scenic bays and beaches, our southern charm mixed with empowering philanthropy, our lively downtown and our vibrant festivals. There is always something fun to do here and delightful people to do it with you. Home IS where my heart is!”

— Martha Holden, vice president, Providence Construction Group

May 2024 • Bella Magazine • 49
— Compiled by Magi Thomley Williams

body & soul

Bella beach WORKOUT

The coast life affords us more than leisurely strolls and sunbathing. Our beaches, with their natural terrain, present a unique and exhilarating backdrop for fitness enthusiasts looking to elevate their workout routine. Engaging in exercises on the beach not only provides fresh enthusiasm, but also brings a host of benefits that are hard to replicate in a traditional gym setting.

Need to freshen up your workout? Searching for more intensity? The natural resistance and shifting surface of the sand adds a layer of challenge to your basic exercises. Whether you’re running along the shoreline, performing squats or lunges or pushups, the unstable surface forces your muscles to work harder. This not only helps in strengthening your stabilizer muscles but also enhances your overall balance and coordination. The increased effort required to move on the sand means that even basic exercises become more demanding, leading to higher calorie burn and ultimately faster results. And, because the sand absorbs your work, it is actually kinder on your joints. Our backyard treasure also has a proven impact on our mental well-being. Fresh air does a body good! The rhythmic sound of the waves, the vastness of the ocean and the soothing breeze combine to create a calming environment helping to reduce stress levels. The combination of exercise and serenity makes beach workouts not just beneficial for the body, but also for the soul.

For your next workout, instead of heading to the gym, head to the beach!

Leah Seacrest is a seasoned fitness industry veteran with 30 years of experience teaching individual and group fitness. Leah is passionate about inspiring people to move, and she contributes as a writer for Bella Magazine, co-owns REGYMEN Fitness Pensacola and is corporate vice president of REGYMEN Fitness. Leah is also an ambassador for YOLO Board and Garden of Life. She is a mother of three and loves spending time on the water paddleboarding and hanging out with her family.

THE ROUTINE

Always warm up 5-10 minutes before you begin. Consult your physician before beginning any new workout regimen. Walk/jog/run for 30 seconds every round. Repeat four rounds of each exercise 10 times: squats, lunges, sit ups, pushups. Cool down by walking on a shoreline and stretching.

50 • Bella Magazine • May 2024
Our model: Ashley Hawkins, fitness enthusiast

SIT UPS

• Use a towel if you don’t want to get sandy!

• Start in a lying position, knees bent, with hands interlaced behind your head.

• Sit upright and return to start

LUNGES

• Start in a standing position with hands interlaced behind your head.

• Step forward with one foot and sink the back leg towards the sand.

• Rotate opposite elbow to your front knee.

• Back leg steps forward.

• Repeat on the other side.

PUSHUPS

• Start in a plank position with hands slightly wider than shoulder width; to modify bring knees to the sand.

• Lower your upper body downward.

• Return to start.

SQUATS

• Start in a standing position with feet outside of hips and toes turned slightly outward.

• Weight in your heels, squat down low then rise back to standing.

• Keep your chest lifted and midsection braced throughout the movement.

May 2024 • Bella Magazine • 51
52 • Bella Magazine • May 2024

Exploring quirky coastal attractions

worth the trip From giants to DINOSAURS

As lovers of adventure, my sister and I are always on the lookout for unique outings and funky attractions to explore. Our recent day trip along the coast exceeded all expectations. From a giant skinny dipping, to encounters with dinosaurs and even wandering through a fairytale flower garden, our excursion was filled with unforgettable moments.

The day started with a visit to a whimsical attraction known as the Lady in the Lake, situated at the Barber Marina in south Baldwin County, about 20 miles from Pensacola. Affectionately dubbed the “Country Girl Skinny Dipping,” this eccentric installation features a giant reclining woman’s head and knees emerging from the water, crafted from fiberglass by the talented artist Mark Cline. Sponsored by the visionary Alabama businessman George Barber, this sculpture is a sight to behold, reportedly measuring 108 feet tall if she were to stand.

Our next stop was at Bamahenge, a replica of England’s iconic Stonehenge. It’s located just off Barber Parkway, near the Barber Marina in Elberta, Alabama. This intriguing display is meticulously crafted from fiberglass to look exactly like stone. Despite its resemblance to the original Stonehenge, Bamahenge remains shrouded in mystery, with no directional signs or explanations in sight. We simply parked on the tiny, graveled parking area and took a short walk along a pathway to the display where we were impressed with its massive size and

alignment with the summer solstice — just like the inspiration, Stonehenge.

Next, we spotted a collection of dinosaurs spread along the roadside and nestled within the nearby woods: life-size replicas of Brontosaurus, T. Rex, Stegosaurus and Triceratops. It was a surreal experience to come face-to-face with these ancient creatures, frozen in time in the modern-day landscape.

Next, we found ourselves immersed in the beauty of Ben’s U-Pick Flowers in Daphne, Alabama. Run by charming owner Angelo (Ben) Trione, this colorful zinnia farm offers more than just flowers — it offers a sense of community and generosity. Inspired by his late wife, Trione and a group of dedicated volunteers spread joy by delivering bouquets to hospitals and nursing homes. We were moved by his generosity of spirit and commitment to making the world a brighter place.

Armed with garden snips and empty containers, we found our way through rows of blooming zinnias, selecting our favorites to create personalized bouquets. Priced affordably at $5 per bouquet, we left with arms full of blossoms to share, and hearts full of gratitude. As we ended our expedition, we felt delighted by the unexpected treasures we discovered. From whimsical sculptures to prehistoric wonders and fields of blooming flowers, each moment reminded us of the magic that lurks just beyond the beaten path. So, whether you’re a seasoned explorer or seeking a short respite, take a trip along the coast — you never know what surprises await.

May 2024 • Bella Magazine • 53

out&about

Junior League of Pensacola Women’s Empowerment Awards

This year’s Women’s Empowerment Awards on March 8 by the Junior League of Pensacola was an evening of inspiration and celebration. The Museum of Commerce provided the perfect backdrop for this beautiful evening. Congratulations to this year’s winners: Laura Griffin, the Mary Raine Hill Award; Kristin Longley, Women in Philanthropy; Ruthie Noel, Women in Education; Reagan Pommier Nelson, Women in Business, For-Profit; Missy Rogers, Women in Business, Non-Profit; Talia Soublet, Youth Woman in Leadership; and Tara Spencer, Hometown Hero. Thank you to all of these difference-making women on your contributions to our community!

54 • Bella Magazine • May 2024
The nominees
May 2024 • Bella Magazine • 55
The winners: Laura Griffin, Mary Raine Hill Award; Tara Spencer, Hometown Hero; Reagan Pommier Nelson, Women in Business, For-Profit; Kristin Longley, Woman in Philanthropy; Ruthie Noel, Women in Education; Talia Soublet, Youth Woman in Leadership; Missy Rogers, Women in Business, Non-Profit. Kate Treick, Susan Bonsignore, Brigette Brooks, Carolyn Grawi, Sally Bergosh, Kristin Longley, Madrina Ciano, Christy Lewis, Taxie Lambert, Lakesha Davis (Impact 100) Galen Ringo, Angel Bradley, Ebony Cornish, Anitra Mingo, Tara Spencer, Lorraine Maxwell, Felicia Mack, Aprile Cushon Kimberly & Kalyn Thomas Ruthie & Zach Noel Christy Lewis, Taxie Lambert, Brooke Jackson
56 • Bella Magazine • May 2024
ABOVE: Lizeth Thaws, Tina Ratcliff RIGHT: Carla Davis, Sally Bergosh, Brigette Brooks
May 2024 • Bella Magazine • 57 2025 SEASON SUBSCRIPTIONS ARE ON SALE NOW! The best way to experience great opera is through a season subscription. Pick your own seats, enjoy a 25% savings over single ticket prices, and exclusive other perks! Join us next season for the ultimate opera experience with a classic Mozart comedy and a famous theatrical drama. Subscriptions are available for purchase online at www.pensacolaopera.com or 850.433.6737. THE MARRIAGE OF FIGARO JANUARY 24 + 26, 2025 PAGLIACCI MARCH 14 + 16, 2025
ABOVE: Julie Franklin, Niels Andersen. LEFT: Laura Griffin, Beth McCann

out&about

UWF Women in Leadership Conference

With over 900 participants in person and online, this year’s Women in Leadership Conference hosted by the Aylstock, Witkin, Kreis & Overholtz Center for Leadership on March14 was inspiring for everyone involved. The theme of this year’s conference was “Resiliency Through Purpose,” and the full day of speakers and panelists offered insights that encouraged and challenged. And while the content of the day was definitely a highlight, the camaraderie and networking made the day particularly valuable.

58 • Bella Magazine • May 2024
Photos Alison Green, Tia Robbins, Melissa Bailey, Lindsey Steck, Nicole Stacey, Rachael Gillette, Ashley Hendrickson, Hannah Pinson, Kaya Man
May 2024 • Bella Magazine • 59
Carla Davis, Allie Dowell, Leah Seacrest, Brandi Gomez Panelists Tia Robbins, Katie Garrett, Stephanie Knight, Jessica Lee, Jacey Cosentino, Dannon Byrd Robin Zimmern, Tara Spencer, Rocky Parra, Jen Kinsella, Jane Lauter, Honey Harris Jo Dawn Brown, Laura Creighton-Oros Tim Kinsella, Lindsay Durtschi Mary Hoxeng, Crista Brandt Bethany Thomas-Bedenfield, Tara Spencer, Angel Bradley, Rashaundra Likely Robin Zimmern, Jen Kinsella, Robbie Schrock, Nicole Stacey Panelists Jen Grove, Robin Reshard, Nicole Stacey, Alicia Tappan, Holly Benson Melissa Wolter, Tori Bennett, Megan Herlocker Jennifer Harrison, Michelle Salzman, Rachael Gillette Jane Lauter, Adrienne Maygarden, Michaela McCarthy Mindi Crain, Kristy Craig, Laura Griffin Tara Spencer, LaTasha Harris, Angel Bradley

out&about

HERstory Soiree

Under the stars at Lily Hall on March 16, Erica Lanes and the Real Women Radio Foundation celebrated Women’s History Month by presenting the HERstory Soiree. Award-winning speakers, dancers, singers and poets provided entertainment as the community came together to celebrate empowering women and to raise funds for the “My Selfie Needs No Filter” summer camp for teen girls.

62 • Bella Magazine • May 2024
Photos by Toni Sparks at Short Story Studios Lesha King
May 2024 • Bella Magazine • 63
Barbara Little, Kara Luckett, Pamela Bolado Mytessia Knight, Marita Ellis, Jacinda Petties Vanessa Mills Saya Polanco Denequa Rosado Elivia Porter, Lerna Porter PJ Gifford, Bernadette Broadwater

Rock Me on the Water her perspective

I was 14 when I first heard Jackson Browne’s 1972 hit, “Rock Me on the Water,” on the radio in my brother’s car on the way to school. That same afternoon, I used two weeks’ allowance to buy the LP at TG&Y for $4. Alone in my little bedroom with the flower power bedspread and the SurfingSnoopy-Cowabunga poster, I would play the song “on repeat” by manually picking up the tonearm of my baby blue record player and carefully placing the needle in the space after track three of side B of Browne’s self-titled debut album.

And for 50 years now, and as recently as yesterday, I have periodically gone back to playing the song on repeat (much easier to do now) to delve into its meaning anew. It is something of an anthem to me. And it just seems to improve with age.

Back then, as a precocious teenager, the appeal of the song was three-fold. I was a self-proclaimed “surfer chick” (more of a groupie really since I didn’t actually surf), and the beach was my stomping ground. Getting “to the sea somehow” was all I cared about at that age. I was also a devoted little Jesus person — an enthusiastic disciple of the burgeoning Jesus movement of the early ’70s. The religious references in the song — a seabird “gliding in one place, like Jesus in the sky,” and standing “before the Father” when his life is over, appealed to the little evangelist in me.

always felt an underlying longing to “get back to the sea somehow.”

And I did. My little house in the dunes is the materialization of a childhood dream and lifelong yearning. The “sisters of the sun” wake me every morning and draw me to the shore to greet the dawn. In 12 years, I have rarely missed a sunrise.

Except during the COVID lockdowns. For two long weeks, I was legally prohibited from setting foot on the beach in my own backyard. Officers in ATVs enforced the order. It was such a counter-intuitive restriction during this time of sickness and forced isolation. The shore is such a healing place — and yet, we were all “lost inside our houses,” longing for connection.

Today, I recognize the sociological themes Browne addressed so poetically in this plaintive call to action. “It’s not about religion, it’s about society,” he said in an interview. It’s about paying attention to what’s happening in the world coupled with humankind’s “inner search for meaning.”

“Oh, people, look around you,” he begs in the very first line of the song. Though he wrote the piece in the tumultuous era of the Vietnam War, it could have been written last Tuesday. I squirm at his gentle rebuke: “You’ve left it for somebody other than you to be the one to care.”

But mostly, as an angst-ridden ninth grader, the notion that the water could “soothe my fevered brow” was irresistible. The song checked all my boxes.

A decade later, sitting on the jumpseat of a Boeing 727 late at night while all the passengers slept, I cued the song up on my Walkman, and wept with homesickness, feeling like one of those “homeless souls” Browne empathizes with in the third stanza.

I kept coming back to the song during all my years away from “home.” Though I lived happily (and sometimes unhappily) in wonderful places around the world — Costa Rica, Manhattan, London, Los Angeles, Seattle — I always,

With so many dire social and political issues vying for our attention these days, it’s hard not to feel inundated. I think Browne expressed feeling overwhelmed by it all as well — and torn between his belief that our collective hope lay in fellowship with one another, and his personal need for separation from the fray. He looked to the sea for renewal, for clarity, for comfort.

“I’m gonna leave you here,” he sings, “and try to get down to the sea somehow.”

And so am I. It is dawn and the sisters of the sun are here. That seabird is hovering. “The wind is with me now.”

There is hope.

Sharla Dawn Gorder is a Pensacola Beach resident and columnist for the Island Times newspaper. She is the author of “My Vices Collide; a Celebration of Being a Little Messed Up,” and is currently working on her next book, entitled “Crayon Dawn,” due out in October 2024.

64 • Bella Magazine • May 2024
May 2024 • Bella Magazine • 65 EMAIL SALES @BELLAMAGAZINE.COM OR CALL (833) 358-4486 Beautiful Women. Sassy Attitude. Smart Magazine.

My favorite mistake her perspective

“Typo, typo, it’s off to work I go,” I sing. I’m the worst typist ever — way better at navigating TurboTax than Microsoft Word. Three years ago, when my dear editor hired me, I had never used Microsoft Word (of course I didn’t disclose that). I hadn’t typed since 1979 when I took Typing 101 in high school. We hand wrote our essays in blue books in college. I had a secretary in the ’80s and ’90s to handle all my correspondence. As a mom, I always volunteered for the PTA, club, or krewe president so I’d have a secretary to do the typing. Or asked my kids to do it.

Yoda says, “Do or do not, there is no try.” I beg to differ, Yoda. Trial and error is how I’ve learned. Three years ago, it took me more time to type my stories than it did to do the research, interviews and write a rough draft. Who spends hours researching the correct usage of the em dash? Me. “I want to be creative with my quote attributions,” I mused dreamily. My editor quickly schooled me and changed anything like “mused dreamily” to “said.”

For longer than I’m willing to admit, I battled with Mr. Bullet Point. Locked and loaded, every time I pulled the trigger, he took over and wreaked havoc on my remaining sentences. Unbeknownst to me, he should have been benched until the last second of the game — a true buzzer beater. I praise the day I met my best friend, Mrs. Undo — she annihilated my foe and magically placed my words back into sentences, not bullet points. (I used a Sharpie marker to create bullet points for a while. I’m good at making a perfect black dot but thankfully that skill is obsolete now.)

I’ve come a long way, Baby Yoda, but I still make mistakes. Last week I inadvertently typed sired instead of wired in a story. It certainly made the story more interesting but not in a good way so I’m glad I caught it. And don’t get me started on Mutt and Jeff, aka Copy and Paste. I’m like Aunt Clara, Samantha’s bumbling aunt on Bewitched — abracadabra … oops — I never know where those words are going to appear. And why are they in a different font?

Did you know if you’re trying to create an invoice for $100 and you don’t hit the shift key at the correct moment, your

invoice will be for 4100? Don’t ask how I know. Miss Shift and I are not good friends — she is way too temperamental and quick to anger. If you aren’t precise, she will spew out all caps at you. I bet she dates drummers and bass players; they hit the notes just right. I prefer guitar players and lead singers; they bend the notes and can slur the words and still make good music. Sometimes when I make a lot of mistakes, I shout her name, but I leave out the f.

Life lesson: Never let lack of skill or knowledge stop you from doing something that inspires you. The learning curve may be steep (a mountain in my case), but like Mother Superior sang to Julie Andrews, “Climb every mountain.”

A headline in a major newspaper left the l out of public — too bad the story was about politics and not hoo-ha hair. I have a friend who made an error on a social media post; he meant to type the word sick but typed a d instead of an s. But the worst thing about it was he blamed it on auto-correct or voice-to text. What I remember most is that he insisted on blaming something or someone else, instead of taking ownership. He could have used humor or humility to diffuse the situation, but he chose to be arrogant and defensive.

Human error — those words are inherently connected. We all make mistakes. It’s how we handle them that reveals our character. Not just typos — mistakes are made in life. How do you handle them? In my experience, life is a lot like typing: You grind it out, you have to proof your work, trust another set of eyes to take a look, own your mistakes, laugh at yourself occasionally, but always strive to improve/get it right. You may be struggling with Mr. Bullet Point or Miss Shift while everyone else has turned in their work, but it could be worse. At least the days of Liquid Paper/Wite-Out are over. Alas, if only we could summon Mrs. Undo.

P.S. Texting has different rules. Errors are OK. Everyone knows if I text “if,” I really mean “of.” Texting is like a scrimmage with no referees. Thank goodness, or I’d be in the penalty box.

Liz Biggs is a Pensacola native and mother of four. Once upon a time, she had a high-pressure career but now she has a pension and is a freelance writer for Bella Magazine. Liz enjoys music, dancing, tennis and travel and tries to find humor in everything.

66 • Bella Magazine • May 2024
68 • Bella Magazine • May 2024
5033 N 12th Ave, Pensacola • 850.477.6818 • berejewelers.com Tuesday - Saturday - 10 am - 6 pm, Sunday & Monday - Closed
Vahan ®, Alwand Vahan ®, Moiré Pattern ® are Regd. Trademarks. Designs © Alwand Vahan Jewelry Ltd.

Turn static files into dynamic content formats.

Create a flipbook
Issuu converts static files into: digital portfolios, online yearbooks, online catalogs, digital photo albums and more. Sign up and create your flipbook.