


Property Details
Maps
Local Schools
Community Utilities & Resources
Title & Escrow
The information contained is provided by WFG’s Customer Service Department to our customers, and while deemed reliable, is not guaranteed.
![]()



Property Details
Maps
Local Schools
Community Utilities & Resources
Title & Escrow
The information contained is provided by WFG’s Customer Service Department to our customers, and while deemed reliable, is not guaranteed.




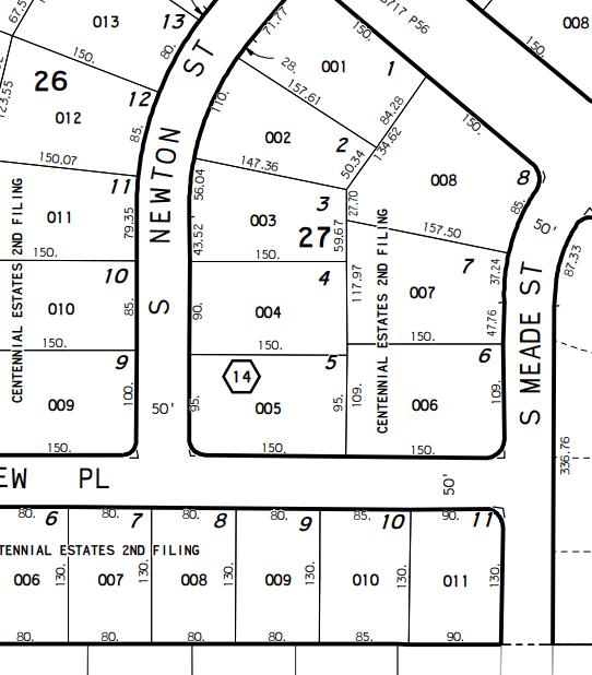
5132 S NEWTON ST LITTLETON CO 80123
2077-07-4-14-005
ARAPAHOE COUNTY CO
OwnerInformation
Owner Name: WILDAY KEVIN C / WILDAY MAGGIE C
Vesting: HUSBAND AND WIFE
Mail Address: 5132 S NEWTON ST LITTLETON CO 80123
Owner Status: OwnerOccupied
LocationInformation
Legal Desc:
County: ARAPAHOE
Census/Block: 005619 / 2009
Tsp-Rng-Sec: T5S-R68W-S07
Lot / Block: Lot: 005, 5 Block: 2
Housing Tract: CENTENNIAL ESTATES 2ND FL
LastMarketSale
Date: 2018-04-10/2018-04-06
Alt Parcel # 977339
School District: LITTLETON 6
Municipality:
Parcel #: 2077-07-4-14-005
Lender: STIFEL BANK AND TRUST
Sale Price: 435000 Loan: 335000
Document #: 2018.34402
Doc Type: GENERAL WARRANTY DEED
$ Sqft: $353.66
PriorSaleInformation
Date: 2007-11-07/2007-10-31
Document #: 2018.34403
Loan Type: CONVENTIONAL
Loan Term: 30
Lender: Price: 235000
Document #: 2007.142575
Doc Type: WARRANTY DEED
Loan: 227950
Document #:
Loan Type: CONVENTIONAL



































This map/plat is being furnished as an aid in locating described land in relation to adjoining streets, natural boundaries and other land, and is not a survey of the land depicted. Except to the extent a policy of title insurance is expressly modified by endorsement, if any, the company does not insure dimensions, distances, location of easements, acreage or other matters shown thereon.


This map/plat is being furnished as an aid in locating described land in relation to adjoining streets, natural boundaries and other land, and is not a survey of the land depicted. Except to the extent a policy of title insurance is expressly modified by endorsement, if any, the company does not insure dimensions, distances, location of easements, acreage or other matters shown thereon.


This map/plat is being furnished as an aid in locating described land in relation to adjoining streets, natural boundaries and other land, and is not a survey of the land depicted. Except to the extent a policy of title insurance is expressly modified by endorsement, if any, the company does not insure dimensions, distances, location of easements, acreage or other matters shown thereon.

























45,652 POPULATION
$54,512 MEDIAN INCOME


41.3
The city of Littleton's history dates back to the 1859 Pike's Peak Gold Rush, which brought not just gold seekers, but merchants and farmers to the community. Richard Sullivan Little was an engineer from New Hampshire who came West to work on irrigation systems. Little soon decided to settle in the area at present day Littleton and brought his wife Angeline from the East in 1862.
Littleton Public
Jefferson County
Sheridan
Englewood
Douglas
2010 Census Data
61.51% of homes owner occupied
38.49% of homes rented
2000 Census Data
3,215.5 inhabitants per sq. mile
19,176 housing units at an average density of 1,497.2 per sq. mile
2010 Census Data
21.6% under age 18
7.7% between ages 18 to 24
25.6% between ages 25 to 44
29.3% between ages 45 to 64
15.8% above age 65
20th most populous city in Colorado
13.87 square miles
5,351 feet elevation
Highest Average Temperature 85º
Lowest Average Temperature 15º
The Littles and neighbors built the Rough and Ready Flour Mill in 1867, which provided a solid economic base in the community. By 1890, the community had grown to 245 people and the residents voted to incorporate the Town of Littleton. Littleton grew significantly throughout the 1950s and 1960s due to its proximity to Denver and to the Martin Marietta facilities, which produced the Titan rocket and other aerospace products.


5132 S NEWTON ST LITTLETON CO 80123
2077-07-4-14-005
COUNTY CO
Johnson, Gary DVM - Centaurio5050 S Federal Blvd, #40303-794-81460.83
Dallmann Allyson R1500 W Littleton Blvd, #116303-795-50652.04
Pasek, Gerald DVM - Academy V3470 S Knox Ct303-789-18582.07
Stevenson, Carola M DVM - Bea5600 W Dartmouth Ave, #105303-985-33162.29 Mi
Jasek, Judy - Belleview Anima200 W Lehow Ave, #B303-794-20082.69 Mi


5132 S NEWTON ST LITTLETON CO 80123 2077-07-4-14-005


5132 S NEWTON ST LITTLETON CO 80123
2077-07-4-14-005 ARAPAHOE COUNTY CO
Hospitals - Acute Care
Denver Health Medical Center777 Bannock St303-436-60007.64
Hospital At St11800 W 2nd Pl720-321-50008.10
Hallmark Nursing Center3701 W Radcliff
Littleton Care And Rehabilita5822 S Lowell Way303-798-24971.00
Cherrelyn Healthcare Center5555 S Elati St303-798-86862.56
Autumn Heights Health Care Ce3131 S Federal Blvd303-761-02602.56
Azura Of Lakewood7395 W Eastman Pl303-730-80003.09
Stucz, Peter W DC - Light-Tou2594 W Crestline Ave303-794-41311.31
Luck, Kevin J DC - Complete C3600 S Wadsworth Blvd303-985-06462.73 Mi Retzer, Dale G DC - Retzer Da89 W Littleton Blvd, #B303-730-24142.87 Mi Wilson, Brian K DC - Broadway3601 S Broadway303-761-85213.34 Mi
So, Peter C DC - So Chiroprac2165 S Sheridan Blvd303-985-07643.63 Mi
Kenneth L Chernoff5151 S Federal Blvd303-795-11070.60
Lewis M Sherman5039 S Federal Blvd #8303-798-43770.82


5132 S NEWTON ST LITTLETON CO 80123
2077-07-4-14-005 ARAPAHOE COUNTY CO
Offices and Clinics of Dentists
Preston, James M Dds5950 S Platte Canyon Rd303-797-22861.14 Mi
Jeffrey Curtis Moser7578 S Sheridan Blvd303-657-90061.17 Mi
Anne F Casson5401 S Prince St #101303-797-38671.38 Mi Offices and Clinics of Medical Doctors
Neighborhood Pet Care Center5182 S Lowell Blvd303-797-84610.39 Mi
Kleczewski Joan Dvm5151 S Federal Blvd303-795-01300.80 Mi
Centaurion Animal Hospital5050 S Federal Blvd, #40303-794-81460.82 Mi
Jaques, Ronald W DDS - Jaques5031 S Federal Blvd303-795-35170.82 Mi
Littleton Manor Nursing Home5822 S Lowell Way303-798-24971.00 Mi Pet Sitting Services
Koster, Jerry DVM - Cherrelyn4690 S Broadway303-781-78412.87 Mi
Bregitzer, Lee F DVM - Columb5546 W Canyon Trl303-979-40403.53 Mi
Kromka, Stephen P DVM - Evans5353 E Evans Ave303-757-78817.22 Mi
Acu-choice Healthcare5039 S Federal Blvd303-794-95050.82 Mi King Soopers5050 S Federal Blvd-A303-798-25210.82 Mi
Bernard M O Grady5020 S Federal Blvd303-795-36680.84 Mi
Dillon Companies Inc5050 S Federal Blvd303-794-25210.89 Mi
Addiction Research And Treatm3738 W Princeton Cir303-761-67031.02 Mi



Emergency/Police/Medical/Fire 911
Littleton Police Department 2255 W Berry Ave, Littleton, CO 80120 Non-Emergency Number (303) 794-1551
South Metro Fire (720) 989-2000 www.southmetro.org
Poison Control (800) 222-1222 www.aapcc.org
United States Postal Service (800) 275-8777 www.usps.com
Xfinity (800) 266-2278 www.xfinity.com
Spectrum (844) 509-8921 www.spectrum.com
Dish Network (800) 318-0572 www.dish.com
DIRECT TV (800) 531-5000 www.directtv.com
The Denver Post (303) 832-3232 www.denverpost.com
Littleton Independent (303) 566-4100 www.coloradocommunitymedia.com/ littleton-independent/
Regional Transportation District (RTD) (303) 299-6000 www.rtd-denver.com
Xcel Energy (303) 615-5000 my.xcelenergy.com
Valley Sanitation District (303) 979-2333 https://valleysd.colorado.gov/
Denver Water (303) 893-2444 www.denverwater.org
South Platte Renew (303) 762-2600 www.southplatterenewco.gov
Waste Management Garbage (800) 808-5901 www.wm.com
Waste Connections (303) 288-2100 www.wcdenver.com
Littleton School District #6 (303) 347-3300 littletonpublicschools.net
Below is the website if you would like to change your address online or you can visit your local post o ce, they will provide you with the change of address packet.
https://moversguide.usps.com
Bene ts you will receive when you change your address online are:
♦ Exclusive mover savings coupons
♦ Safe and secure with identity veri cation by a simple $1.00 charge to your credit or debt card
♦ Email con rmation at the end of registration of your change of address
* Must have valid email address and credit card to register online.
Below is the website if you would like to change your address online or have any questions.
Region 1 and Headquarters
Denver/Central Colorado 2829 W Howard Place Denver, CO 80204 (303) 759-2368
www.codot.gov
Below is the website if you would like to change your address online or you can ll out the paperwork provided and mail it back to your County Elections O ce listed below.
sos.state.co.us/voter/pages/pub/home.xhtml
County Elections O ce Contacts
Adams County
4430 S Adams County Pkwy 1st Floor, Suite E3102 Brighton, CO 80601 (720) 523-6500
Arapahoe County
5334 S Prince St Littleton, CO 80120 (303) 795-4511
Boulder County 1750 33rd St, Suite 200 Boulder, CO 80301 (303) 413-7740
Broom eld County One DesCombes Dr Broom eld, CO 80020 (303) 438-6332
Denver County 200 W 14th Ave Denver, CO 80204 (720) 913-8683
Douglas County 125 Stephanie Place Castle Rock, CO 80109 (303) 660-7444
El Paso County 1675 W Garden of the Gods Rd Suite 2201 Colorado Springs, CO 80907 (719) 520-6202
Je erson County 3500 Illinois Street, Suite 1100 Golden, CO 80401 (303) 271-8168
Inventory Sheets: Create an inventory sheet of all your belongings which need to be moved
Research Moving Options: You’ll need to decide if yours is a do-it-yourself move or if you’ll be using a moving company.
Request Moving Quote: Solicit moving quotes from as many moving companies and movers as possible. There can be a large di erence between rates and services within moving companies.
Discard Unnecessary Items: Moving is a great time for ridding yourself of unnecessary items. Have a yard sale or donate unnecessary items to charity.
Packing Material: Gather moving boxes and packing material for your move.
Contact Insurance Companies: You’ll need to contact your insurance agent to cancel/transfer your insurance policy.
Start Packing: Begin packing all things destined for your new location.
Obtain Your Medical Records: Contact your doctor, physician, dentist and other medical specialists who may currently be retaining any of your family’s medical records. Obtain these records or make plans for them to be delivered to your new medical facilities if changing. Security is critical of personal records.
Note Food Inventory Levels: Check your cupboards, refrigerator and freezer. Use up as much of your perishable food as possible.
Small Engines: Service small engines for your move by extracting gas and oil from the machines. This will reduce that chance to catch re during your move.
Protect Jewelry and Valuables: Transfer your jewelry and valuables to a safety deposit box; you don’t want them to be lost or stolen during your move.
Borrowed and Rented Items: Return items which you may have borrowed or rented. Collect items borrowed to others.
Your Change of Address: Change your address with the USPS, DMV, Financial Institutions, Utilities, Government O ces, Health Care Service Providers, Memberships, Subscriptions and Insurance Provisions.
Bank Accounts: Transfer or close bank accounts if changing banks. Make sure to have a money order for paying the moving company.
Service Automobiles: If automobiles are to be driven long distance, you’ll want to have them serviced so you have a trouble-free drive.
Cancel Services: Notify any remaining service providers (newspapers, lawn services, etc.) of your move.
Travel Items: Set aside all items you’ll need while traveling. Make sure these are not packed on the moving truck..
Contact Utility Companies: Set utility turno date, seek refunds and deposits and notify them of your new address.
Plan Your Itinerary: Make plans to spend the entire day at the house or at least until the movers are on their way. Someone will need to be around to make decisions. Make plans for kids and pets to be at a sitters for the day.
Review the House: Once the house is empty, check the entire house (closets, attic, basement, etc.) to ensure no items are left or no home issues exist.
Double Check With Your Mover: Ensure the mover has the new property address and all of your most recent contact information, should they have any questions during your move.
Vacate Your Home: Make sure utilities are o , doors and windows are locked and notify your real estate agent you’ve vacated the property.
Questions To Ask: Where is the garage door opener? Where are the keys to the house, mailbox and other lockable area? Did you retrieve all keys from neighbors and friends?
AIRPORT
Denver International Airport (720) 730-4359 www. ydenver.com
AUTO & DRIVER REGISTRATION
Department of Transportation (303) 759-2368 www.codot.gov
BUS SERVICE
RTD (303) 299-6000 www.rtd-denver.com
Greyhound (800) 231-2222 www.greyhound.com
CABLE TV, INTERNET, PHONE & SATELLITE
Century Link (877) 803-8414 www.centurylink.com
Dish Network (800) 318-0572 www.dish.com
DIRECT TV (800) 531-5000 www.directtv.com
Spectrum (844) 509-8921 www.spectrum.com
XFINITY (800) 934-6489 www.comcast.com
CITY CONTACT
Arvada - (720) 898-7000 www.arvadaco.gov
Aurora - (303) 739-7000 www.auroragov.org
Boulder - (303) 441-3388 www.bouldercolorado.gov
Brighton - (303) 665-2000 www.brightonco.gov
Broom eld - (303) 469-3301 www.broom eld.org
Castle Rock - (303) 660-1015 www.castlerock.org
Centennial - (303) 325-8000 www.centennialco.gov
Colorado Springs (719) 385-2489 www.coloradosprings.gov
Commerce City (303) 289-3600 www.c3gov.com
Denver - (720) 913-1311 www.denvergov.org
Englewood - (303) 762-2300 www.englewoodgov.org
Erie - (303) 926-2700 www.erieco.gov
Federal Heights (303) 428-3526 www.fedheights.org
Fountain - (719) 332-2000 www.fountaincolorado.org
Glendale - (303) 759-1513 www.glendale.co.us
Golden - (303) 384-8000 www.cityofgolden.net
Greenwood Village (303) 773-0252 www.greenwoodvillage.com
Highlands Ranch (303) 791-0430 www.highlandsranch.org
Lafayette - (303) 665-5588 www.cityo afayette.com
Lakewood - (303) 987-7000 www.lakewood.org
Littleton - (303) 795-3700 www.littletongov.org
Lone Tree - (303) 708-1818 www.cityo onetree.com
Longmont - (303) 776-6050 www.longmontcolorado.gov
Louisville - (303) 666-6565 www.louisvilleco.gov
Manitou Springs (719) 685-5481 www.manitouspringsco.gov
Northglenn - (303) 451-8326 www.northglenn.org
Parker - (303) 841-0353 www.parkeronline.org
Superior - (303) 499-3675 www.superiorcolorado.gov
Thornton - (303) 538-7575 www.cityofthornton.net
Westminter - (303) 658-2400 www.cityofwestminster.us
Wheat Ridge - (303) 234-5900 www.ci.wheatridge.co.us
Adams 4430 S Adams County Pkwy Brighton, CO 80601 (303) 659-2120
Arapahoe 5334 S Prince St Littleton, CO 80120 (303) 795-4400
Boulder County 1750 33rd St Boulder, CO 80301 (303) 413-7740
Broom eld County One DesCombes Dr Broom eld, CO 80020 (303) 469-3301
Denver County
200 W 14th Ave Denver, CO 80204 (720) 913-1311
Douglas County 125 Stephanie Place Castle Rock, CO 80109 (303) 660-7400
El Paso County 1675 W Garden of the Gods Rd Colorado Springs, CO 80907 (719) 520-7276
Je erson County 100 Je erson County Pkwy Golden, CO 80419 (303) 271-6511
CORE Electric (303) 688-3100 www.core.coop
Xcel Energy (303) 615-5000 my.xcelenergy.com
AllHealth Network (303) 730-8858 www.allhealthnetwork.org
Anschutz (720) 848-0000 www.uch.edu
Avista (303) 673-1000 www.avistahospital.org
Boulder Community Hospital (303) 440-2273 www.bch.org
Castle Rock Adventist (720) 455-5000 www.centura.org
Centennial Medical Plaza (303) 699-3000 www.auroramed.com
Children’s Hospital Colorado (720) 777-1234 www.childrenscolorado.org
Craig Hospital (303) 789-8000 www.childrenscolorado.org
Denver Health (303) 436-6000 www.denverhealth.org
Good Samaritan (303) 689-4000 www.sclhealth.org
Kaiser Permanente (303) 338-3800 www.kp.org
Littleton Adventist Hospital (303) 730-8900 www.littleton-adventist-hospital
Lutheran Medical Center (303) 425-4500 www.lutheranmedicalcenter.org
Medical Center of Aurora (303) 695-2600 www.auroramed.com
North Suburban Medical (303) 451-7800 www.northsubruban.com
Parker Adventist Hospital (303) 269-4000 www.parkerhospital.org
Platte Valley Medical (303) 498-1600 www.pvmc.org
Porter Adventist Hospital (303) 778-1955 www.mylittletonhospital.org
Presbyterian / St Luke’s (303) 839-6000 www.pslmc.com
Rocky Mountain Hospital (720) 754-1000 www.rockymountainhospitalforchildren.com
Rose Medical Center (303) 320-2121 www.rosemed.com
Sky Ridge Medical Center (720) 225-1000 www.skyridgemedcenter.com
St. Anthony Medical Center (720) 225-1000 www.stanthonyhosp.org
Swedish Medical Center (866) 779-3474 www.swedishhospital.com
UCHealth (720) 516-1000 www.uchealth.org
University of Colorado Hospital (303) 372-0000 www.uch.edu
Denver Pavilions 16th Street Mall and Glenarm Pl Denver, CO
Downtown Boulder Pearl Street and Broadway Boulder, CO
Festival Shopping Center 8110 S University Blvd www.festivalshoppingcenter.com
FlatIron Crossing One W Flatiron Crossing Dr Broom eld, CO
Heritage Hills 9227 Lincoln Ave Lone Tree, CO
Larimer Square 1430 Larimer Denver, CO
Marketplace at Northglenn 104th Ave and I-25 Denver, CO
Marina Square
8101 E Belleview Ave Denver, CO
Oakbrook
311 E County Line Rd Littleton, CO
Outlets at Castle Rock
5050 Factory Shops Blvd Castle Rock, CO
Park Meadows 8401 Park Meadows Center Dr Lone Tree, CO
Shops at Highland Walk 4000 Red Cedar Dr Highlands Ranch, CO
Southlands E Smoky Hill Rd and E-470 Aurora, CO
Shops at Highland Walk 4000 Red Cedar Dr Highlands Ranch, CO
Southwest Plaza 8501 W Bowles Ave Littleton, CO
The Streets at SouthGlenn 6991 S Vine St Centennial, CO
Town Center at Aurora 14200 E Alameda Ave Aurora, CO
Twenty Ninth Street
Arapahoe Ave and 28th St Boulder, CO
Willow Creek 8200 S Quebec St Centennial, CO
Village at the Peaks 1250 S Hover Rd Longmont, CO
Colorado Springs Transfer Station
wmsolutions.com 1965 Commercial Blvd Colorado Springs, CO 80906
South Metro Transfer Station wmsolutions.com 2400 West Union Avenue Englewood, CO 80110
D&R Transfer Station wmsolutions.com 6091 Brighton Blvd Commerce City, CO 80022
Adams County 4430 S Adams County Pkwy 1st Floor, Suite E3102 Brighton, CO 80601 (720) 523-6500
Arapahoe County 5334 S Prince St Littleton, CO 80120 (303) 795-4511
Boulder County 1750 33rd St, Suite 200 Boulder, CO 80301 (303) 413-7740
Broom eld County One DesCombes Dr Broom eld, CO 80020 (303) 438-6332
Denver County 200 W 14th Ave Denver, CO 80204 (720) 913-8683
Douglas County 125 Stephanie Place Castle Rock, CO 80109 (303) 660-7444
El Paso County 1675 W Garden of the Gods Suite 2201 Colorado Springs, CO 80907 (719) 520-6202
Je erson County
3500 Illinois Street, Suite 1100 Golden, CO 80401 (303) 271-8168



Because of you… we obsess over
Cyber fraud and email hacking is on the rise. Fraudsters may access individual email accounts and monitor the life of your transaction. At the time funds are due to the escrow, fraudsters intercept the information for wiring funds and the fraudsters change the information without the knowledge of the sender or recipient, resulting in the funds being sent to an outside account and never credited to the intended party.
To protect and reduce your risk, WFG has implemented the following procedures for outgoing and incoming wires:
In the escrow paperwork provided you will be asked to provide written instructions on how you want funds dispersed at the close of escrow. If you choose to have the funds sent via wire transfer, WFG will contact you by phone to con rm the wire information provided.
For funds that are to be wired to WFG for your transaction, we will send speci c wire instructions to the remitting person via an encrypted email. We recommend you reach out to your WFG contact to con rm the wire instructions prior to remittance.
We look forward to processing your escrow transaction for you. We know that this can be a stressful time and we are here to assist you in any way we can to make this a good experience.
http://national.wfgnationaltitle.com/2016/04/05/obsess-cyber-security/
The purchase of a home is likely going to be one of the most expensive and important purchases you will ever make. You and your mortgage lender want to make sure the property is indeed yours and that no individual or government entity has any right, lien, claim, or encumbrance to your property.
The title insurance company’s function is to make sure your rights and interests to the property are clear, that transfer of title takes place e ciently, and correctly, and your interests as a homebuyer are protected. Title insurance companies provide services to buyers, sellers, real estate developers and builders, mortgage lenders, and others who have an interest in the real estate transfer. Title companies issue two types of policies - “Owners Policy” (which covers the homebuyer) and “Lenders Policy” (which covers the bank, savings and loan, or other lending institution over the life of a loan). Both are issued at the time of purchase for a one-time premium.
The title company conducts an extensive search of public records to determine if anyone other than you has an interest in the property before issuing a policy. The search may be performed by title company personnel using either public records, or more likely, information gathered, reorganized, and indexed in the company’s title “plant”. With such a thorough examination of records, title problems can usually be found and cleared up prior to purchase of the property. Once a title policy is issued, if for some reason any claim, which is covered under your title policy, is ever led against your property, the title company will pay the legal fees involved in defense of your rights as well as any covered loss arising from a valid claim. That protection, which is in e ect as long as you or your heirs own the property, is yours for a one-time premium paid at the time of purchase.
The title company works to eliminate risks before they develop. This makes title insurance di erent from other types of insurance. Most forms of insurance assume risks by providing nancial protection through a pooling of risks or losses arising from unforeseen events, like re, theft, or accident. The purpose of title insurance, on the other hand, is to eliminate risks and prevent losses caused by defects in title that happened in the past. Risks are examined and mitigated before property changes hands. Eliminating risk has bene ts to both of you, the home buyer, as well as the title company. It reduces the chance adverse claims might be raised, and by doing so reduces the number of claims that have to be defended or satis ed. This keeps costs down for the title company and your title premiums low. With title insurance you are assured that any valid claim against your property will be taken on by the title company, and that the odds of a claim being led is slim.
When your o er has been accepted and conveyed, escrow is opened. An escrow is an arrangement made under contract between a buyer and seller. As the neutral third party, escrow is responsible for receiving and disbursing money and/ or documents. Both the buyer and seller expect the escrow agent to carry out their written instructions associated with the transaction and also to advise them if any of their instructions are not being met, or cannot be met. If the instructions from all parties to an escrow are clearly set out, the escrow o cer can proceed on behalf of the buyer and seller without further consultation.
The Seller/Agent
• Delivers Purchase Sale Agreement to the escrow agent
• Prepares the paperwork necessary to close the transaction
• Approves the commitment for title insurance, or other items as called for by the Purchase Sale Agreement
The Buyer/Agent
• Deposits funds required to close with the escrow agent
• Executes the paperwork and loan documents necessary to close the transaction
The Lender
• Deposits loan documents to be provided by the buyer
• Deposits the loan funds
• Informs the escrow agent of the conditions under which the loan funds may be used
• Clears Title
• Obtains title insurance
• Obtains payo s and release documents for underlying loans on the property
• Receives funds from the buyer and/or lender
• Prepares vesting document a davit on seller’s behalf
• Prorates insurance, taxes, rents, etc.
• Prepares a nal statement (often referred to as the Closing Disclosure or CD) for each party, indicating amounts paid in conjunction with the closing of your transaction
• Forwards deed to the county for recording
• Once the proper documents have been recorded, the escrow agent will distribute funds to the proper parties
Escrow is the process that gathers and processes many of the components of a real estate transaction. The escrow agent is a neutral third party acting on behalf of the buyer and seller.
Title insurance insures against nancial loss from defects in title, liens, or other matters. It protects both purchasers and lenders against loss by the issuance of a title insurance policy. Usually, during a purchase transaction the lender requests a policy (commonly referred to as the Lender’s Policy) while the buyers receive their own policy (commonly referred to as an Owner’s Policy).
It will protect against lawsuits if the status of the title to a parcel or real property is other than as represented, and if the insured (either the owner or lender) su ers a loss as a result of a title defect. The insurer will reimburse the insured for that loss and any related legal expenses.
While the purpose of most other types of insurance is to assume risk through the pooling of monies for losses happening because of unforeseen future events (like sickness or accidents), the primary purpose of title insurance is to eliminate risks and prevent losses caused by defects in title arising out of events that have happened in the past. To achieve this, title insurers perform a thorough search and examination of the public records to determine whether there are any adverse claims (title defects) attached to the subject property. These defects/claims are either eliminated prior to the issuance of a title policy or their existence is excepted from coverage. The policy is issued after the closing of your new home, for a one time nominal fee, and is good for as long as you own the property.
A title search is made up of three separate searches:
• Chain of Title – History of the ownership of the subject property
• Lien & Encumbrance Search – Discloses liens and encumbrances on the subject property
• Exceptions from Coverage Search –Includes Easements, Covenants, Conditions and Restrictions, etc.
After the three searches have been completed, the le is reviewed by an examiner who determines:
• If the Chain of Title shows that the party selling the property has the rights to do so.
• Whether there are any unsatis ed judgments on the Judgment and Name Search against the previous owners, sellers, or/and purchasers.
Rights established by judgment decrees, unpaid federal income taxes, and mechanics liens all may be prior claims on the property, ahead of the buyer’s or lender’s rights. The title search will only uncover issues in title that are of public record and therefore allowing the title company to work with the seller to clear up these issues and provide the new buyer with title insurance.
Once the searches have been examined, the title company will issue a commitment, stating the conditions under which it will insure title. The buyer, seller, and the mortgage lender will proceed with the closing of the transaction after clearing up any defects in the title that have been uncovered by the search and examination.
Ownership of property vested in one person rather than held jointly with another.
Parties need not be married; may be more than two persons.
Parties need not be married; may be more than two persons.
Also called sole tenancy.
The sole owner may use, encumber, rent, sell, and convey at their discretion.
The owner may transfer the property via a Will, Trust, or a Bene ciary Deed upon their death.
Each joint tenant holds an equal and undivided interest in the estate, unity of interest.
Upon death, the estate of the decedent must be “cleared” through probate or adjudication.
One joint tenant can partition the property by selling his or her joint interest.
Each joint tenant holds an undivided fractional interest in the estate. May be disproportionate interest e.g. 20% and 80%; 40% and 60%; etc.
Each tenant’s share can be conveyed, mortgaged, or devised to a third party.
Requires signatures of all joint tenants to convey or encumber the whole.
Requires signatures of all to convey or encumber the whole.
Estate passes to surviving joint tenants outside of probate.
No court action required to “clear” title upon the death of joint tenant(s).
Upon death, the tenant’s proportionate share passes to his or her heirs by will or intestacy.
Upon death, the estate of the decedent must be “cleared” through probate or adjudication.
DISCLAIMER – The foregoing contains informational examples only and is not to be construed as legal advice. Given the complexities involved in acquiring and holding legal title to real property, WFG strongly recommends that you seek legal advice from an attorney prior to doing so.

55 Madison Street, Suite 690
Denver, CO 80206 (720) 475-8325
NORTH
12050 N Pescos Street, Suite 110 Westminster, CO 80234 (720) 475-8350
8610 Explorer Drive, Suite 105
Colorado Springs, CO 80920 (719) 598-5355
7800 E Union Avenue, Suite 310 Denver, CO 80237 (720) 475-8300
WFG’s My Home
CC&R’s (if applicable)
The information contained is provided by WFG’s Customer Service Department to our customers, and while deemed reliable, is not guaranteed.
This week the median list price for Littleton, CO 80123 is $912,450 with the market action index hovering around 45. This is about the same as last month's market action index of 45. Inventory has increased to 82.
This answers “How’s the Market?” by comparing rate of sales versus inventory.
Market appears to have begun to cool. As we’re still notably in the Seller’s zone, prices have not yet adjusted. If the market continues to cool, then expect prices to follow lower. It may take a few more weeks of slack demand for prices to reflect and begin to fall. Expect this condition if the index falls to the Buyer’s zone.
Strong Seller's Market
Each segment below represents approximately 25% of the market ordered by price.
$1,997,5004,9420.5 - 1 acre54.5321487
$1,049,8944,0236,500 - 8,000 sqft53.9242335 $815,0003,0316,500 - 8,000 sqft43.3282228 $650,0002,1206,500 - 8,000 sqft32.5483435
In this zip code this week saw relatively little price change from last week. However, we continue to demonstrate a nice up trend in general over the last several weeks.
In the quartile market segments, we see the middle of the market in this zip code staying on an up trend lately, while Quartiles 1 and 4 are mixed. The Market Action Index for Quartiles 1 and 4 can tell us whether they are about to resume an upward price trend or whether we're at the beginning of a decline.
This is a market where watching the value metrics (like price per square foot) can provide insight that you don’t get at first glance. Despite the fact that home prices are rising fairly consistently, the price per square foot of homes listed is declining a bit. Often this can be attributed to new and remodeled homes on the market. Buyers in the area are paying more but also getting more for their money.
Inventory has been climbing lately. Note that rising inventory alone does not signal a weakening market. Look to the Market Action Index and Days on Market trends to gauge whether buyer interest is keeping up with available supply.
The properties have been on the market for an average of 83 days. Half of the listings have come newly on the market in the past 47 or so days. Watch the 90-day DOM trend for signals of a changing market.
It is not uncommon for the higher priced homes in an area to take longer to sell than those in the lower quartiles.









Instant access to
WFG’s MyHome® provides full transparency, real-time updates, and post-closing home information in a secure built with YOU in mind.
Contact information for
Sign up for an account at https://myhome.wfgtitle.com today!
Click Register for MyHome® account on a MyHome® email to https://myhome. wfgtitle.com
Complete a brief registration form. Use your email address on immediate access.

via text, email, or
for your transaction
your escrow team

TRANSACTION CLOSED
GATHER UP
SIGNING SCHEDULED
CLOSE TO SIGNING
TITLE CLEARED
UPDATER INVITATION
TITLE REPORT DELIVERED
TRANSACTION STARTED
MIDPOINT FEEDBACK
EARNEST MONEY
Our search found no CC&R’s of record for this property. However, no examination of title has been made and WFG National Title assumes no liability.