Beschrijvend bodemonderzoek: tussentijdse resultaten

Page 1

Hulpverleningszone Centrum

Beschrijvend bodemonderzoek

Brandweer, Kloosterstraat 26-32, Merelbeke (Gent)

536794-R02(00)

Dossiernummer OVAM: 96414

JUNI 2023

RSK ALGEMENE NOTITIES

Rapportnummer 536794-R02(00)

Titel

Beschrijvend bodemonderzoek: Brandweer, Kloosterstraat 26-32, Merelbeke (Gent)

Opdrachtgever Hulpverleningszone Centrum

Datum 13/06/2023

Kantoor Westerlo

Status Definitief

Auteur Romy Hofmans

Technisch nazicht Nathalie Van Damme

Project manager Raf Bossaerts

Naam van de persoon die beschikt over de individuele handtekeningsbevoegdheid (cfr. Vlarel artikel 53/4 §1, tweede lid)

Elmar Van Rossem

Naam van de persoon die de bodemsaneringsdeskundige rechtsgeldig kan vertegenwoordigen tegenover derden

Elmar Van Rossem

Beschrijvend bodemonderzoek: i Brandweer, Kloosterstraat 26-32, Merelbeke (Gent) 536794-R02(00)

Dit rapport werd opgemaakt door RSK Benelux BV (RSK) met de grootst mogelijke zorg en kennis, en onder de voorwaarden zoals overeengekomen met onze opdrachtgever. Er mag niet verwezen worden naar dit rapport zonder de uitdrukkelijke toestemming van zowel de opdrachtgever als RSK. Naast het professioneel advies dat opgenomen is in dit rapport, wordt er geen enkele andere kwaliteitsgarantie gegeven, noch letterlijk, noch geïmpliceerd.

Wanneer gebruikgemaakt werd van data die verstrekt werden door de opdrachtgever of door andere bronnen, werd door RSK verondersteld dat deze informatie correct was. RSK kan niet verantwoordelijk gesteld worden voor incorrecte data aangeleverd door een andere partij. De besluiten en aanbevelingen in dit rapport zijn gebaseerd op de veronderstelling dat alle relevante informatie verstrekt werd door de partijen bij wie die informatie opgevraagd werd.

RSK gaat, behoudens indien wettelijke bepalingen van dwingend recht anders opleggen, ter zake de overeengekomen opdrachten uitsluitend middelenverbintenissen aan. De opdrachtgever erkent en aanvaardt dat RSK ter zake de uit te voeren of uitgevoerde opdrachten gebonden is door wettelijke en deontologische regels die primeren op de aanstellingsovereenkomst. Indien veldonderzoek uitgevoerd werd, werd dit beperkt tot het detailniveau dat nodig was om de overeengekomen doelstellingen van het werk te bereiken.

RSK voert haar opdrachten uit gebruikmakend van de middelen en methodes die volgens de stand van de wetenschap aanvaard zijn op datum van de uitvoering. De adviezen, rapporten en aanbevelingen worden opgesteld rekening houdende met de richtlijnen en toetsingswaarden die door de bevoegde overheden worden opgelegd op datum van opstelling ervan. De opdrachtgever kan de gehanteerde richtlijnen opvragen en tegen meerprijs bijkomende onderzoeken aanvragen en/of RSK verzoeken andere (strengere) toetsingswaarden te hanteren.

RSK kan in geen geval aansprakelijk worden gesteld voor eender welke rechtstreekse of onrechtstreekse schade, nadelen of andere ongunstige gevolgen in hoofde van de opdrachtgever of aan derden die hun oorzaak vinden in de toegepaste onderzoeksmethodes en/of de gehanteerde richtlijnen of toetsingswaarden. RSK kan verder en in het algemeen uitsluitend aansprakelijk worden gesteld voor directe materiële of lichamelijke schade met uitsluiting van iedere immateriële of gevolgschade.

Dit rapport mag niet gekopieerd of vermenigvuldigd worden zonder de uitdrukkelijke toestemming van zowel RSK als de opdrachtgever.

Dit werk werd uitgevoerd in overeenstemming met het kwaliteitsmanagementsysteem van RSK Benelux BV.

Beschrijvend bodemonderzoek: ii

Brandweer, Kloosterstraat 26-32, Merelbeke (Gent)

536794-R02(00)

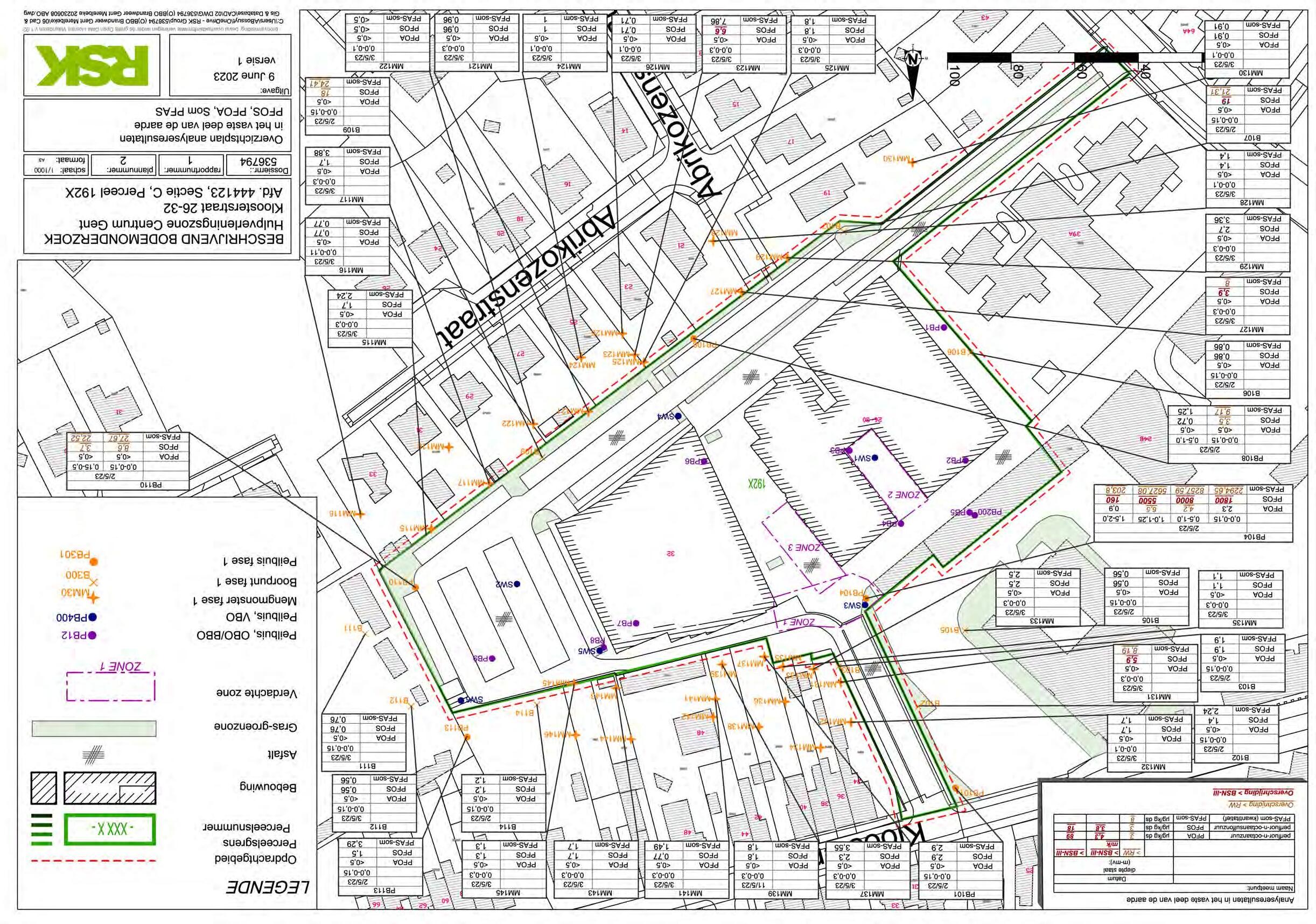
Beschrijvend bodemonderzoek: iii Brandweer, Kloosterstraat 26-32, Merelbeke (Gent) 536794-R02(00) INHOUD Deel 1 – Administratieve gegevens 1 Deel 2 – Rapport 10 0 Inleiding ..........................................................................................................................................11 1 Situatieschets .................................................................................................................................13 1.1 Administratief onderzoek 13 1.2 Omgevingskenmerken 13 1.3 Geologie en hydrogeologie...........................................................................................................15 1.4 Historisch onderzoek 17 1.4.1 Algemeen 17 1.4.2 Bespreking activiteiten op het terrein 17 1.4.3 Samenvatting historisch onderzoek 19 1.5 Conclusies oriënterend bodemonderzoek en voorgaande onderzoeksfasen ..............................20 1.6 Terreinbezoek 21 2 Bepaling van de bemonsteringsstrategie 22 2.1 Uitwerking van de bemonsteringsstrategie fase 1 22 3 Resultaten terrein- en laboratoriumonderzoek...............................................................................25 3.1 Metingen 25 3.2 Resultaten veld- en laboratoriumonderzoek 26 3.2.1 Veldonderzoek 26 3.2.2 Putwater 28 3.2.3 Afwijkingen van het CMA en/of de voorgestelde bemonsteringsstrategie (vaste deel, grondwater) 28 3.2.4 Afwijkingen tussen veldwaarnemingen en analyseresultaten....................................28 3.2.5 Opmerkingen op de analyserapporten 28 4 Evaluatie van de resultaten ............................................................................................................29 4.1 Beoordelingskader 29 4.1.1 Vaste deel van de aarde en grondwater 30 4.1.2 PFAS in het vaste deel van de aarde en het grondwater...........................................31 4.1.3 Bepaling grondwaterstromingsrichting 31 4.2 Evaluatie resultaten 32 4.2.1 Bespreking aanvulling op het oriënterend bodemonderzoek 32 4.2.2 Bespreking verontreinigingskern 1.............................................................................32 5 Bepaling van de bemonsteringsstrategie Fase 2 ...........................................................................36 5.1 Uitwerking van de bemonsteringsstrategie fase 2 36 6 Risico-evaluatie verontreinigingskern 39 7 Betrouwbaarheid onderzoek...........................................................................................................40 8 Bijlagen rapport...............................................................................................................................41 Toetsing analyseresultaten en resultaten veldmetingen........................................................42 Coördinaten staalnamepunten...............................................................................................43 Boorbeschrijvingen 45 Analyseverslagen...................................................................................................................46
Beschrijvend bodemonderzoek: iv Brandweer, Kloosterstraat 26-32, Merelbeke (Gent) 536794-R02(00) Foto’s 47 Output risicomodel S-Risk 48 Output F-Leach ......................................................................................................................49 Verklaring analysemethode....................................................................................................50 Grondwaterwinningen 51 Kadastrale gegevens 52 Deel 6 - Kaartmateriaal..................................................................Fout! Bladwijzer niet gedefinieerd. Kaarten en schetsen ............................................................................................................53 Overzicht kaart Geoloket ovam............................................................................................61 TABELLENLIJST Tabel 0-1: Administratieve gegevens......................................................................................................2 Tabel 1-1: Technische gegevens onderzoekslocatie 13 Tabel 1-2: Overzicht omgevingskenmerken 13 Tabel 1-3: Geologische opbouw 15 Tabel 1-4: Hydrogeologie 16 Tabel 1-5: Verdachte zones 18 Tabel 1-6: Samenvatting historisch onderzoek 19 Tabel 1-7: Wijziging bodemsamenstelling 19 Tabel 1-8: Samenvatting resultaten (water)bodemonderzoeken, -saneringen en grondverzet 20 Tabel 1-9: Terreinbezoek......................................................................................................................21 Tabel 2-1: Bemonsteringsstrategie fase 1 beschrijvend bodemonderzoek 22 Tabel 3-1: Overzicht veldwerk en laboratoriumonderzoek 25 Tabel 3-2: Overzicht grondwaterbemonsteringsgegevens 27 Tabel 3-3: Overzicht opmerkingen........................................................................................................28 Tabel 4-1: Beoordelingskader...............................................................................................................29 Tabel 4-2: Overzicht structuurparameters 30 Tabel 4-3: Genivelleerde grondwaterstanden 32 Tabel 5-1: Bemonsteringsstrategie fase 2 beschrijvend bodemonderzoek 36 Tabel 10-1: Uitgevoerde boringen en peilbuizen..................................................................................43 Tabel 10-2: Betrokken percelen 43 BIJLAGENLIJST Toetsing analyseresultaten en resultaten veldmetingen........................................................42 Coördinaten staalnamepunten...............................................................................................43 Boorbeschrijvingen.................................................................................................................45 Analyseverslagen 46 Foto’s 47 Output risicomodel S-Risk......................................................................................................48 Output F-Leach ......................................................................................................................49 Verklaring analysemethode....................................................................................................50 Grondwaterwinningen 51 Kadastrale gegevens 52 Kaarten en schetsen ............................................................................................................53
Beschrijvend bodemonderzoek: v Brandweer, Kloosterstraat 26-32, Merelbeke (Gent) 536794-R02(00) Overzicht kaart Geoloket ovam 61 OVERZICHT KAARTEN Kaart 1: Topografische kaart 54 Kaart 2: Detailplan van de onderzoekslocatie met aanduiding boringen en peilbuizen 55 Kaart 3:Detailplannen met weergave van de onderzoeksresultaten (vaste deel van de aarde) 56 Kaart 4: Detailplannen met weergave van de onderzoeksresultaten (grondwater)..............................57 Kaart 5: Kaart met aanduiding van de grondwaterstromingsrichting 58 Kaart 6:Voorstel veldwerk Fase 2 60

DEEL 1 – ADMINISTRATIEVE GEGEVENS

Hulpverleningszone Centrum

Beschrijvend bodemonderzoek

Brandweer, Kloosterstraat 26-32, Merelbeke (Gent)

536794-R02(00)

Dossiernummer OVAM: 96414

Beschrijvend bodemonderzoek: 1

Brandweer, Kloosterstraat 26-32, Merelbeke (Gent)

536794-R02(00)

Tabel 0-1: Administratieve gegevens

Rapportgegevens

Titel: Beschrijvend bodemonderzoek: Brandweer, Kloosterstraat 26-32, Merelbeke (Gent)

Referentie EBSD: 536794-R02(00)

Rapportdatum: 13/06/2023

Onderzoekslocatie

Straat + nr. of omschrijving: Kloosterstraat 26-32

Postcode: 9820

Fusiegemeente: Gent

Deelgemeente: Merelbeke

Aanleiding overdracht grond sluiting bedrijf stopzetting activiteit overdracht grond + sluiting bedrijf periodieke verplichting decretaal verplicht decretaal vrijwillig vrijwillig door derden ambtshalve verspreiding onbekend

Opdrachtgever

Naam Hulpverleningszone Centrum

Straat + nr.: Roggestraat 70

Postcode: 9000

Fusiegemeente: Gent

Land: België

Telefoon: 09 268 89 34 | +32 472 75 40 26

E-mail: Marijn.Seys@bwzc.be

Hoedanigheid: eigenaar gebruiker exploitant optredend in opdracht van de eigenaar/gebruiker/exploitant andere:

Contactpersoon

Naam: Marijn Seys

Telefoon: 09 268 89 34 | +32 472 75 40 26

E-mail: Marijn.Seys@bwzc.be

Contactpersoon ter plaatse

Naam: John Vandenhende

Telefoon: 0475/42.07.62

E-mail: John.Vandenhende@bwzc.be

Bodemsaneringsdeskundige

Naam RSK Benelux BV

Naam contactpersoon: Raf Bossaerts

Telefoon: 03/451 93 00

E-mail: RBossaerts@rskgroup.be; info@rskgroup.be

Beschrijvend bodemonderzoek: 2

Brandweer, Kloosterstraat 26-32, Merelbeke (Gent) 536794-R02(00)

Dossiernummer OVAM: 96414

PFAS gerelateerde Label(s): PFAS-verdacht (voormalige) brandweerkazerne

PFAS-verdacht (voormalige) bedrijfsactiviteit

PFAS-verdacht (voormalige) oefenterrein brandweer

PFAS-verdacht brand

PFAS-waterbodem

PFAS-analyses

PFAS-onverdacht motivatie EBSD

Label(s): asbest

brownfield

droogkuis / wasserij druggerelateerd garage en carrosserie

gasfabriek

land- en tuinbouw

gedwongen mede-eigendom in eigendom van lokale besturen in eigendom van de Vlaamse Overheid

IED (Richtlijn Industriële Emissie)

particulier school

stookolietank voor verwarming stortplaats

tankstation

universiteit transport – goederen en personen waterbodem

waterwingebied

niet van toepassing

Milieuschade:

Er is milieuschade1 vastgesteld

Er is geen milieuschade vastgesteld

1 Milieuschade is schade zoals vermeld in artikel 15.1.1.1° van titel XV van het Decreet algemene bepalingen milieubeleid (DABM) van 5 april 1995 (B.S. 03.06.1995 en later wijzigen), zijnde schade die:

1. veroorzaakt is door een emissie, een gebeurtenis, of een incident die op een dag heeft plaatsgevonden na 30 april 2007;

2. door een inrichting of installatie die vermeld wordt in bijlage IV van het DABM;

3. en die de bodemsaneringsnorm overschrijdt;

Beschrijvend bodemonderzoek: 3

Brandweer, Kloosterstraat 26-32, Merelbeke (Gent)

536794-R02(00)

Tabel 2: Identificatie van de betrokken percelen

Beschrijvend bodemonderzoek:

Brandweer, Kloosterstraat 26-32, Merelbeke (Gent)

536794-R02(00)

4
Gemeentenummer Sectie Perceelnummer Adres Gemeente
(eigenaar / gebruiker / exploitant)
Type (1) Naam Adres Letter (2) Van Tot 44412 C 192X Kloosterstraat 26/32 Merelbeke 21 novemb er 1979 heden E Gemeente Merelbeke Hundelgemsesteenw eg 353 – 9820 Merelbeke A heden Ex Hulpverleningszone Centrum Roggestraat 70 – 9000 Gent B Jaren ‘60 1979 E/Ex SBT Niet gekend C 1951 Jaren ‘60 E/Ex Selecta Kloosterstraat 26, 9820, Merelbeke D 44412 C 196A2 Poelstraat 37 Merelbeke - - E Openbaar Centrum voor Maatschappelijk Welzijn van Merelbeke Hundelgemsesteenwe g 353 - 9820 Merelbeke E 44412 C 190S Kloosterstraat 56 Merelbeke - - E De Clercq, Peter Kloosterstraat 00569820 Merelbeke F 44412 C
Kloosterstraat
Merelbeke - - E De Bruyker, Lutgarde Kortestraat 0010 - 9160 Lokeren G E De Bruyker, Annelies Roskamstraat 00779820 Merelbeke H E De Bruyker, Katelijne Edekestraat
9800 Deinze I
Persoon
Periode
155A3
56+
0099

44412 C 189S2 Abrikozenstraat 33

Persoon (eigenaar / gebruiker / exploitant)

Periode Type (1)

Van Tot

Naam Adres Letter (2)

E De Bruyker, Patrick Lembergsesteenweg 0048 - 9820 Merelbeke

E De Bruyker, Jozef Hundelgemsesteenwe g 0075 - 9890 Gavere

G Van Daele, Greta Cornelius Sneyssenslaan 01169820 Merelbeke

44412 C 189G 2

25 Merelbeke

Beschrijvend bodemonderzoek: 5

Brandweer, Kloosterstraat 26-32, Merelbeke (Gent)

536794-R02(00)

Gemeentenummer Sectie Perceelnummer Adres Gemeente
J
K
L
Merelbeke - - E Matthys, Sofie Abrikozenstraat 33, 9820 Merelbeke M - - E De Corte, Karel Abrikozenstraat 33, 9820 Merelbeke N
Merelbeke - - E Van Poucke, Hilde Abrikozenstraat 31, 9820 Merelbeke O - - E Tollenaere, Gino Abrikozenstraat 31, 9820 Merelbeke P
Merelbeke - - E Wasen, Inge Abrikozenstraat 27, 9820 Merelbeke Q E Crommelinck, Kurt Abrikozenstraat 27, 9820 Merelbeke R
- - E Abrikozenstraat
Merelbeke Abrikozenstraat 25,
Merelbeke S
44412 C 189T2 Abrikozenstraat 31
44412 C 189M 2 Abrikozenstraat 27
Abrikozenstraat
27, 9820
9820

44412 C 189A2 Abrikozenstraat 23 Merelbeke -

Persoon (eigenaar / gebruiker / exploitant)

Periode Type (1) Naam Adres Letter (2) Van Tot - -

Devos, Jana Abrikozenstraat 25, 9820 Merelbeke

De Clercq, Krista Abrikozenstraat 23, 9820 Merelbeke U - - E Peters, Maurice Abrikozenstraat 23, 9820 Merelbeke V

44412 C 189Z Abrikozenstraat 21 Merelbeke -

Ingelbrecht, Liliane Abrikozenstraat 21, 9820 Merelbeke

Bouchez, Roland Abrikozenstraat 21, 9820 Merelbeke X

44412 C 189D 2 Abrikozenstraat 19 Merelbeke

44412 C 192V Kloosterstraat 34 Merelbeke

De Beir, Ria Abrikozenstraat 19, 9820 Merelbeke

Van Peteghem, Kristin Kloosterstraat 34, 9820 Merelbeke Z

44412 C 191F2 Klossterstraat 36 Merelbeke

Gondon, Dominique Kloosterstraat 36, 9820 Merelbeke AA

44412 C 191E2 Kloosterstraat 38 Merelbeke -

Crucke, Claudia Kloosterstraat 38, 9820 Merelbeke AB

44412 C 191D 2 Kloosterstraat 40 Merelbeke -

Saidi Asele Kloosterstraat 40, 9820 Merelbeke AC

Beschrijvend bodemonderzoek: 6

Brandweer, Kloosterstraat 26-32, Merelbeke (Gent)

536794-R02(00)

Gemeentenummer Sectie Perceelnummer Adres Gemeente
E
T
- E
- E
W - - E
- - E
Y
- E
-
- - E
- E
- E

Gemeentenummer Sectie

44412 C 191C 2 Kloosterstraat 42 Merelbeke

Persoon (eigenaar / gebruiker / exploitant)

Periode Type (1) Naam Adres Letter (2) Van Tot

Wauters, Boudewijn Kloosterstraat 40, 9820 Merelbeke AD

De Neve, Sharon Kloosterstraat 42, 9820 Merelbeke AE

- E Daelman, Johan Kloosterstraat 42, 9820 Merelbeke AF

44412 C 191G 2 Kloosterstraat 48 Merelbeke

Reybroeck, Nelly Kloosterstraat 48, 9820 Merelbeke AG

Van den Broecke, André Kloosterstraat 48, 9820 Merelbeke AH

44412 C 190R Kloosterstraat 50+ Merelbeke

Enciu, Andreia Kloosterstraat 50, 9820 Merelbeke AI

Enciu, Sebastian Kloosterstraat 50, 9820 Merelbeke AJ

44412 C 190N Kloosterstraat Merelbeke

Claus, Eric Bommelstraat 80, 9840 De Pinte AK

Claus, Nathalie Kloosterstraat 52, 9820 Merelbeke AL

(1) Bij het type voor de eigenaars en gebruikers geeft u aan of de betrokkene eigenaar (E), gebruiker (G), beide (EG) of exploitant (Ex) is.

(2) Unieke letter per betrokken persoon.

De gegevens van de huidige eigenaar, gebruiker en exploitant worden vetgedrukt.

Beschrijvend bodemonderzoek: 7

Brandweer, Kloosterstraat 26-32, Merelbeke (Gent)

536794-R02(00)

Perceelnummer Adres Gemeente
-
E
-
- E
-
-
- - E
-
- E
- - E
-
E
-
E
E

Tabel 3: Gegevens van gevoelige receptoren binnen een straal van 500 m van de opdrachtlocatie

Receptornummer (zie 2.16 Plannen)

Type receptor Nummers foto’s (zie 2.18 bijlage)

Afstand tot de onderzoekslocatie (aanpalend / <100 / <200 / <500)

Kadastrale gegevens (capakey) Adres en contactgegevens

1 Openlucht voetbalveld Aanpalend ten O 44412C0155/00A003 KFC Merelbeke

Adres: Kloosterstraat 56Z, 9820 Merelbeke

Tel: +32 9 231 24 31

E-mail: info@kfcmerelbeke.be

2 Openlucht petanqueterrein < 200 m ten NW 44412C0196/00V000 OCMW Merelbeke

Adres: Poelstraat 37, 9820 Merelbeke

Tel: 09 210 71 10

E-mail: LOI@merelbeke.be

3 Jeugdbeweging < 100 m ten N 44412C0203/00D002 Lokalen Chiro trefpunt

Adres: Kloosterstraat 21, 9820 Merelbeke

Tel: 0493 11 69 88

E-mail: groepsleiding@chirotrefpunt.be

4 Speelplein < 200 m ten NW geen Speelplein ‘t Schrijverke – Gemeente Merelbeke

Adres : Herman Teirlinckstraat, 9820 Merelbeke

Adres gemeente Merelbeke: Hundelgemsesteenweg 353, 9820 Merelbeke

Tel : 09 210 32 11

E-mail: info@merelbeke.be

5 Scholen < 200 m ten NW 44412C0202/00G000 Gemeenteschool Gilko Merelbeke (kleuter en lager)

Adres: Kloosterstraat 19, 9820 Merelbeke

Tel: + 32 9 210 35 70

E-mail: Gilko@merelbeke.be

Beschrijvend bodemonderzoek: 8

Brandweer, Kloosterstraat 26-32, Merelbeke (Gent)

536794-R02(00)

< 200 m ten W 44412C0196/00V000 Ligo, Centrum voor Basiseducatie GentMeetjesland-Leieland

Adres: Poelstraat 37, 9820 Merelbeke

Tel: 09 225 04 36

E-mail: info@cvo.gent

Centrum voor volwassenonderwijs Gent

Adres: Poelstraat 37, 9820 Merelbeke

Tel: 09 225 04 36

E-mail: info@cvo.gent 6 landbouwgrond < 500 m ten ZO - Gemeente Merelbeke:

Adres: Hundelgemsesteenweg 353, 9820 Merelbeke

Tel : 09 210 32 11

E-mail: info@merelbeke.be

Rode (geruite) zone Woningen met potentiële moestuin en kippen Omringend

Adres: Hundelgemsesteenweg 353, 9820 Merelbeke

Tel : 09 210 32 11

E-mail: info@merelbeke.be Gele

Merelbeke: Adres: Hundelgemsesteenweg 353, 9820 Merelbeke

Tel : 09 210 32 11

E-mail: info@merelbeke.be

Merelbeke: Adres: Hundelgemsesteenweg 353, 9820 Merelbeke

Tel : 09 210 32 11

E-mail: info@merelbeke.be

Ingebouwde siervijvers werden niet in de tabel opgenomen omdat deze niet in contact staan het grondwater en het water hiervan doorgaans niet wordt gebruikt voor consumptie en/of besproeiing.

Beschrijvend bodemonderzoek: 9

Brandweer, Kloosterstraat 26-32, Merelbeke (Gent)

536794-R02(00)

- Gemeente Merelbeke:
zone Landbouw < 200 m ten W < 500 m ten ZO - Gemeente
Groene zone Parkgebied < 500 m ten NNO -
Gemeente

DEEL 2 – RAPPORT

Hulpverleningszone Centrum

Beschrijvend bodemonderzoek

Brandweer, Kloosterstraat 26-32, Merelbeke (Gent)

536794-R02(00)

Dossiernummer OVAM: 96414

Beschrijvend bodemonderzoek: 10

Brandweer, Kloosterstraat 26-32, Merelbeke (Gent)

536794-R02(00)

Conform de bepalingen van het decreet betreffende de bodemsanering en de bodembescherming d.d. 27 oktober 2006, dient er op het terrein ‘Brandweer, Kloosterstraat 26-32, Merelbeke (Gent)’ een beschrijvend bodemonderzoek uitgevoerd te worden. Dit onderzoek vindt plaats naar aanleiding van de vastgestelde PFAS verontreiniging op de site

Het doel van een beschrijvend bodemonderzoek bestaat erin om de ernst van de bodemverontreiniging vast te stellen. Voorliggend rapport beoogt een beschrijving te geven van:

• de soort, aard, hoeveelheid, concentratie en oorsprong van de verontreinigende stoffen of organismen;

• de mogelijkheid op verspreiding ervan;

• het gevaar op blootstelling aan de verontreiniging voor mensen, planten, dieren, grond- en oppervlaktewater voor de huidige bestemming van het terrein;

• het gevaar op blootstelling aan de verontreiniging voor mensen, planten, dieren, grond- en oppervlaktewater voor een potentiële bestemming van het terrein.

Op gronden met een historische bodemverontreiniging dient overgegaan te worden tot bodemsanering als het beschrijvend bodemonderzoek aantoont dat de verontreiniging een risico vormt met betrekking tot humane of ecotoxicologische blootstelling of wanneer de verontreiniging een ernstige bedreiging vormt.

Bij een nieuwe bodemverontreiniging dient overgegaan te worden tot bodemsanering wanneer de bodemsaneringsnormen overschreden worden of dreigen te worden.

Bij een gemengde verontreiniging dient in het beschrijvend bodemonderzoek een uitspraak gedaan te worden over de mate waarin een gemengde bodemverontreiniging als nieuw dan wel als historisch beschouwd moet worden. Voor de bepaling of er al dan niet tot bodemsanering overgegaan moet worden, worden de gedeeltes nieuwe en historische bodemverontreiniging behandeld volgens de bepaling voor respectievelijk nieuwe en historische bodemverontreiniging zoals hierboven beschreven.

Vanaf 1 september 2015 worden de gegevens van het beschrijvend bodemonderzoek enkel digitaal aangeleverd aan de OVAM. Hierbij worden volgende onderdelen als afzonderlijke pdf-documenten opgeladen:

• De administratieve gegevens (deel 1)

• Het rapport (deel 2)

• De niet-technische samenvatting (deel 3)

• Een reeks van verplichte bijlagen (deel 4)

• De administratieve bijlagen (deel 5)

• Het kaartmateriaal (deel 6)

• Een samenvatting per grond (deel 7)

• Andere bijlagen (deel 8)

• Belangrijke informatie (deel 9)

Beschrijvend bodemonderzoek: 11

Brandweer, Kloosterstraat 26-32, Merelbeke (Gent)

536794-R02(00)

0 INLEIDING

Het beschrijvend bodemonderzoek wordt uitgevoerd overeenkomstig de meest recente versie van de ‘Standaardprocedure voor beschrijvend bodemonderzoek’ van de OVAM (01-04-2020).

Beschrijvend bodemonderzoek: 12

Brandweer, Kloosterstraat 26-32, Merelbeke (Gent)

536794-R02(00)

1 SITUATIESCHETS

1.1 Administratief onderzoek

Tabel 1-1: Technische gegevens onderzoekslocatie

Perceelnummer

(1)

192X

Bestemmingstype (2) Werkelijk gebruik Toekomstig gebruik XYZcoördinaat (m)**

III: Woongebied Brandweerkazerne met parking idem zie Bijlage 2

196A2 III: Woongebied Maatschappelijk centrum met parking

190S, 190N, 190R, 191G2, 191C2, 191D2, 191E2, 191F2, 192V

155A3

Idem

III: Woongebied Woning met tuin Idem

III: Woongebied Voetbalveld met tribunes Idem

189S2 III: Woonuitbreidingsgebieden Woning met tuin en fruitbomen Idem

189T2, 189V2, 189M2, 189G2, 189A2, 189Z, 189D2

III: Woonuitbreidingsgebieden Woning met tuin Idem

(1) De kadastrale gegevens van de percelen zijn opgenomen in Deel 1: Administratieve gegevens.

(2) Volgens gewestplan. De percelen vallen binnen gewestelijk RUP “Afbakening grootstedelijk gebied Gent” Hierin veranderd het bestemmingstype van bovengenoemde percelen niet

1.2 Omgevingskenmerken

De ligging van de onderzoekslocatie wordt aangegeven op een topografische kaart in de kaartbijlagen. Tabel 1-2 geeft een overzicht van de relevante omgevingskenmerken.

Tabel 1-2: Overzicht omgevingskenmerken

Item Omschrijving

Omschrijving topografie vlak

Bebouwing in de omgeving

Woningen en handelszaken omringend Handelszaken omringend

Dienstencentrum aangrenzend ten NW

Jeugdbeweging op ca. 90 m ten N

Bestemming omringende terreinen

III: Woon(uitbreidings)gebied omringend

II: Agrarisch gebied op ca. 340 m ten ZO en ca. 170 m ten (Z)W

II: woongebied met landelijk karakter op ca 460 m ten O

I: Parkgebied op ca. 400 m ten N

Gebruik omringende terreinen

Woningen (met potentiële moestuinen/ kippen), winkels, eetgelegenheden en diensten omringend

Sportveld aangrenzend ten O

Beschrijvend bodemonderzoek: 13

Brandweer, Kloosterstraat 26-32, Merelbeke (Gent)

536794-R02(00)

Item Omschrijving

Weilanden op ca. 275 m ten ZW

Chirotrefpunt op ca. 90 m ten N

Speelplein op ca. 190 m ten N

Oppervlaktewater in de omgeving Zie tabel 1-4

Potentiële verontreinigingsbronnen in de omgeving die mogelijks een invloed kunnen uitoefenen op de onderzoekslocatie

Neen

Schadegevallen/calamiteiten omringende terreinen Geen

Relevante bodemonderzoeken uitgevoerd op omringende terreinen

D-84042: Gemeente Merelbeke

- OBO 2018

- BBO 2020

Deze onderzoeken gebeurde op de huidige projectzone. Vroeger bevonden er zich een stovenfabriek en een distributiebedrijf op de site. Verdachte stoffen waren zware metalen, minerale olie, PAK’s, BTEX en VOCl. Er werd een DAEB besloten voor minerale olie en VOCl waardoor een beschrijvend bodemonderzoek nodig was. In het beschrijvend onderzoek kreeg het perceel een P-zin met gebruiksadviezen.

D-65824: OCMW Merelbeke

- OBO 2014

Het perceel werd onderzocht naar aanleiding van ondergrondse stookolietank en kreeg een P-zin.

De situering van de vermelde dossiers is aangegeven op de overzichtskaart inBijlage 12

Er zijn geen verdere PFAS2 resultaten bekend op omliggende terreinen3

2 https://www.dov.vlaanderen.be/portaal/?module=verkenner

3 https://www.vmm.be/data/waterkwaliteit

Beschrijvend bodemonderzoek: 14

Brandweer, Kloosterstraat 26-32, Merelbeke (Gent)

536794-R02(00)

1.3 Geologie en hydrogeologie

In Tabel 1-3 wordt een overzicht van de geologische opbouw weergegeven.

Tabel 1-3: Geologische opbouw

Diepte (m-mv) Textuur Heterogeniteit en gelaagdheid

Stratigrafie (1) Doorlatendheid (m/dag) Doorlatendheid (beschrijving)

0-5 Silthoudend zand Quartair Zie hoofdstuk Fout! V erwijzingsbron niet gevonden.

5-20 Grijsgroen, zeer fijn zand Heteogeen: Kleilagen, zandsteenbanken

20-30 Grijze tot groengrijze klei tot silt

30-40 Donkergrijze tot blauwe klei

Formatie van Tielt, lid van Edegem

zandsteenbanken Formatie van Tielt, lid van Kortemark

Formatie van Kortrijk, lid van Aalbeke

De doorlatendheid werd bepaald op basis van de textuurbeschrijving

OM (%) Klei (%) Opmerking

Goed tot matig Ca. 4.5* Ca. 5.5*

Goed tot matig

Glauconiet- en glimmerhoudend

Matig

Slecht

Glimmers

*Het gehalte organisch materiaal en klei werd gehaald uit de analyse van 2 stalen op diepte 0-0.15 m-mv en 0.5-1 m-mv.

(1) Stratigrafische benaming zoals gebruikt op de meest recente geologische kaarten

Beschrijvend bodemonderzoek: 15

Brandweer, Kloosterstraat 26-32, Merelbeke (Gent)

536794-R02(00)

Tabel 1-4 geeft een samenvatting van een aantal hydrogeologische gegevens.

Tabel 1-4: Hydrogeologie

Item Omschrijving

Diepte van de grondwatertafel (huidige en voormalige onderzoeken) (m-mv)

VBO: 2.3 m-mv

Huidig onderzoek: nog te bepalen

Kwetsbaarheid van het grondwater Dc: weinig kwetsbaar

Aanduiding vermoedelijke horizontale grondwaterstromingsrichting

Richting noorden (BBO, meting 09/05/2023)

Aanwezigheid oppervlaktewater Gijzegenbeek en Braambosbeek op ca. 420 m ten N

Schellebellebeek – Morselgoedbeek op ca. 460 m ten ZO

Aanwezigheid brak of zout water

Aanwezigheid kwelzones

Vergunde grondwaterwinningen binnen een straal van 500 m van de terreingrens

Neen

Neen

Er bevindt zich één vergunde grondwaterwinning binnen een straal van 500 m van de opdrachtlocatie.

OVL-03578-A (Autonoom gemeentebedrijf Merelbeke AUTOGEMB) op ca. 270 m ten ZW met een vergunde diepte van 30 m-mv en een vergund jaardebiet van 5000 m³/j.

Gezien de diepte en de afstand wordt er geen invloed verwacht op het onderzoeksgebied.

Zie overzichtstabel en plan in Bijlage 9

Niet vergunde grondwaterwinningen Er is geen informatie beschikbaar omtrent niet-vergunde grondwaterwinningen in de onmiddellijke omgeving buiten de onderzoeklocatie.

Particuliere grondwaterwinningen Er is geen informatie beschikbaar omtrent particuliere grondwaterwinningen in de onmiddellijke omgeving buiten de onderzoeklocatie.

Waterwingebieden en beschermingszones type I, II of III binnen een straal van 2 km van de terreingrens

Er zijn geen grondwaterwingebieden of beschermingszones aanwezig binnen een straal van 2 km.

Zie plan in Bijlage 9

Beschrijvend bodemonderzoek: 16

Brandweer, Kloosterstraat 26-32, Merelbeke (Gent)

536794-R02(00)

1.4 Historisch onderzoek

1.4.1 Algemeen

Volgende bronnen werden geraadpleegd voor het historisch onderzoek:

• opdrachtgever;

• huidige en vorige gebruikers;

• de gemeentediensten en/of de provinciediensten;

• luchtfoto’s;

• voormalige bodemonderzoeken;

• milieu- en omgevingsvergunningen (zie Bijlage 6)

1.4.2 Bespreking activiteiten op het terrein

1.4.2.1 Perceel 192X

1.4.2.1.1 Periode <1951

Er zijn geen gegevens bekend over deze periode. Vermoedelijk was het terrein braakliggend.

1.4.2.1.2 Periode 1951- jaren ‘60

In deze periode was het terrein in bezit van “D” en bevond er zich een stovenfabriek. Binnen de activiteiten van deze fabriek viel ook een chromeer- en nikkelinrichting. Op het inrichtingsplan van 4 mei 1951 (zie Bijlage 6) is de locatie voor “Chromage” aangeduid. Uit een brief van “D” naar het gemeentebestuur blijkt dat het water van de chroominstallatie niet genoeg gezuiverd geraakte om te lozen in de beken. In plaats daarvan werd het water geloosd in een “zelf gegraven, grote put op het terrein”, waarvan ze zelf aangaven dat de kans op bodemverontreiniging groter werd. De locatie van deze put op het terrein is onbekend. Tussen september 1953 en april 1954 werden de rioleringen aangelegd en wordt er verondersteld dat er vanaf die periode hierin geloosd werd. In 1957 werd “D” vergund voor een uitbreiding van de fabriek met o.a. een chroom, nikkel- en koperbad. Van de voormalige activiteiten is niets meer te zien. Een deel van bedrijfsgebouwen (voormalige gieterij) werd afgebroken. De overgebleven gebouwen werden volledig gerenoveerd en vormen de huidige gemeentehallen. Over de ligging van de voormalige activiteiten en de afvalput is weinig geweten.

1.4.2.1.3 Periode jaren ’60 – 1979

In deze periode was het terrein in bezit van “C” en bevond er zich een distributiebedrijf. Ook van deze activiteiten is weinig bekend. De kans dat hier PFAS werd gebruikt is klein.

1.4.2.1.4 Periode 1979 – heden

Vanaf 21 november 1979 is het terrein in bezit van “A” en bevinden er zich de huidige gemeentediensten en gemeentehallen. Sinds 1991 vestigde ook de brandweer zich op dit terrein.

In 1994 werd een nieuwe klinker- en asfaltverharding rondom de verschillende gebouwen geplaatst.

Sinds 1991 werden er door de brandweer ongeveer2 keer per jaar oefeningenuitgevoerd met het PFAS houdend blusschuim Finiflam AFFF. De oefeningen vonden plaats op het noordelijke deel van het terrein tussen de brandweerkazerne en de gemeentehallen (zone 1). Bij deze oefeningen werd het blusschuim voorzichtig en rechtstreeks op het doel gespoten. Deze oefeningen vonden plaats tot ca. 2021, wanneer de PFASproblematiek in opspraak kwam. Op de site werd er nooit schuim in grote hoeveelheden opgeslagen. Er waren wel sporadisch enkele jerrycans met schuimvormend middel aanwezig. Op heden wordt er geen PFAS houdend schuim opgeslagen op het terrein.

Beschrijvend bodemonderzoek: 17

Brandweer, Kloosterstraat 26-32, Merelbeke (Gent)

536794-R02(00)

De brandweerwagens worden gewassen op het binnenkoertje bij het westelijke gebouw, tussen de gemeentdiensten (Kloosterstraat 26) en de brandweerkazerne (Kloosterstraat 30) (zone 2). Sporadisch worden de wagens ook gewassen aan de noordoostelijke kant van de brandweerkazerne (zone 3)

Sinds 1 januari 2015 valt de brandweer van Merelbeke niet langer onder de gemeente Merelbeke, maar maakt het korps deel uit van brandweerzone Centrum, een brandweerzone die 18 gemeenten beschermt en 8 korpsen groepeert.

1.4.2.1.5 Verdachte zones

Op basis van bovenstaande informatie worden volgende zones weerhouden in onderliggend onderzoek:

Tabel 1-5: Verdachte zones

Zone Omschrijving

Zone 1

Zone 2

Zone 3

Oefenzone PFAS-houdend blusschuim

Wasplaats Brandweerwagens

Sporadische wasplaats Brandweerwagens

Beschrijvend bodemonderzoek: 18

Brandweer, Kloosterstraat 26-32, Merelbeke (Gent)

536794-R02(00)

1.4.3 Samenvatting historisch onderzoek

Tabel 1-6: Samenvatting historisch onderzoek

Periode Kadastraal perceel (1) Lettercode persoon

VLAREM/ VLAREBOActieve rubriek (2 en 5)

VLAREM/ VLAREBO gebetonneerde rubriek (3, 4 en 5)

Potentiële bron Verdachte stoffen

1951- jaren ’60 192X D

29.5.6.b.2 (B) Aanbrengen van deklagen van gesmolten metaal, chromeer –en nikkeleerinrichting

1991 - 2021 192X B - - Gebruik + beperkte opslag fluorhoudend blusschuim

(1) Overeenkomstige letter van de persoon zoals opgenomen in de tabel met administratieve gegevens (deel 1, tabel 2)

(2) Gezien de inrichting is gestart na 31 mei 2015, zijn de rubrieken van bijlage 1 van het Vlarem II van toepassing.

(3) Gezien de inrichting is gestart vóór 1 juni 2015, zijn de rubrieken van bijlage 1 van het Vlarebo (gebetonneerde Vlarebo-lijst) van toepassing.

PFAS

PFAS

(4) Een inrichting waarvan de sluiting dateert van vóór 11 februari 1946 wordt niet beschouwd als risico-inrichting. De gronden waarop uitsluitend een activiteit werd uitgeoefend gedeeld onder VLAREBO-categorie 'I' moeten wel worden opgenomen in de gemeentelijke inventaris.

(5) In deze kolom worden alle Vlarebo en potentieel verontreinigde Vlaremrubrieken weergegeven

Tabel 1-7: Wijziging bodemsamenstelling

Wijziging bodemsamenstelling

Omschrijving

Ophoging van het terrein Neen

Opvullingen

Onder de klinkerverharding is een stabilisélaag van ca. 0,5 m-mv aanwezig. Mogelijke opvulling van de put waarin het afval van de chromeerbaden werd geloosd, locatie onbekend

Calamiteiten Neen

Aanwezigheid afvalstoffen Neen

Ontgravingen (verontreinigde) grond Neen

Bemalingen verontreinigd grondwater Neen

Asbestverdacht Niet van toepassing

Beschrijvend bodemonderzoek: 19

Brandweer, Kloosterstraat 26-32, Merelbeke (Gent)

536794-R02(00)

1.5 Conclusies oriënterend bodemonderzoek en voorgaande onderzoeksfasen

In onderstaande tabel wordt een overzicht gegeven van de bodemonderzoeken, site-onderzoeken, risicobeheersplannen, bodemsaneringen of relevant grondverzet die reeds uitgevoerd werden op het terrein.

Tabel 1-8: Samenvatting resultaten (water)bodemonderzoeken, -saneringen en grondverzet

12/04/2018 OBO

Oriënterend Bodemonderzoek, Gemeentelijke loods, Kloosterstraat 26-32, 9820

BBO

Beschrijvend Bodemonderzoek, Kloosterstraat 26-32, 9820

Verkennend onderzoek PFAS

10/08/2021 VBO

Merelbeke Brandweerkazerne, Kloosterstraat 26-32, 9820

Merelbeke. Dossier: 96414

OVAM Sweco PFAS

Gemengd, 61% historisch*

* Dit onderzoek nam een periode aan van 1970-2011 voor het gebruik van PFAS houdend blusschuim. In huidig onderzoek bleek deze periode tussen 1991 en 2021 te hebben plaatsgevonden, wat betekent dat de verontreiniging door PFAS houdend blusschuim geclassificeerd wordt als een gemengde, overwegend nieuwe (87 % nieuw) verontreiniging. Welk aandeel hiervan mogelijks van de verontreiniging met chromeer-afval komt, is nog onbekend.

Gezien de ouderdom van de onderzoeken, werden voor dit onderzoek de PFAS resultaten opnieuw getoetst aan de huidige normen.

Beschrijvend bodemonderzoek: 20

Brandweer, Kloosterstraat 26-32, Merelbeke (Gent)

536794-R02(00)

Datum Type Titel Opdrachtgever Bodemsaneringsdeskundige Verontreiniging Classificatie
Merelbeke Gemeente Merelbeke Provinciaal
Milieuonderzoek - Minerale olie (2) - VOCl - Chloride Q Q P
Centrum voor
10/02/2020
Merelbeke Gemeente Merelbeke
Benelux - Minerale olie - Minerale olie + naftaleen P P
RSK
Q:

1.6 Terreinbezoek

Tabel 1-9: Terreinbezoek

Item Omschrijving

Datum terreinbezoek 27/03/2023

Uitvoerder terreinbezoek Nathalie Van Damme

Foto’s onderzoekslocatie en omgeving Zie Bijlage 5

Vaststellingen De verhardingen zijn niet gewijzigd sinds het vorige oriënterend bodemonderzoek. Deze zijn in goede staat.

Peilbuis 3, 4, 5 en 9 uit het OBO van 2018 werden teruggevonden op het terrein Peilbuis 8 werd niet teruggevonden.

De kazerne wordt afgescheiden van de woningen door een houten omheining van ca. 2 m hoog.

Beschrijvend bodemonderzoek: 21

Brandweer, Kloosterstraat 26-32, Merelbeke (Gent)

536794-R02(00)

2 BEPALING VAN DE BEMONSTERINGSSTRATEGIE

2.1 Uitwerking van de bemonsteringsstrategie fase 1

In onderstaande tabel wordt een overzicht gegeven van het uitgevoerde veldwerk in het kader van het beschrijvend bodemonderzoek fase 1

Tabel 2-1: Bemonsteringsstrategie fase 1 beschrijvend bodemonderzoek

Beschrijvend bodemonderzoek: 22

Brandweer, Kloosterstraat 26-32, Merelbeke (Gent)

536794-R02(00)

Referentienummer

Afperking (1) Boring/peilbuis Diepte staal/filter Analyses

Gevoelige receptor: Woongebied met potentiële moestuinen/kippenren

(B102, B103, B105, B106,

(1) Afperking: H (horizontaal) of V (Verticaal)

(2) B (Boring) - P (Peilbuis) – HB (Herbemonsteren) – MM (Mengmonster VDA)

Vaste deel aarde:

In een eerste fase van het onderzoek werden voor een horizontale afperking toplaagstalen (015 cm) onderzocht t.h.v. de onverharde zones rondom de oefenterreinen. Alle ondiepe stalen werden al worden genomen in de eerste fase van het onderzoek. B103 bevindt zich in de dominante windrichting. Hier werd zowel een topstaal (0,0-0,15 m-mv) als een dieper

Beschrijvend bodemonderzoek: 23

Brandweer, Kloosterstraat 26-32, Merelbeke (Gent) 536794-R02(00)

verontreiniging
Type (2) Aantal Van (m) Tot (m) Fase 1 1
H B 9
B107, B109, B111, B112, B114) 0.0 0.15 9 x PFAS (VDA) PB 5 (PB101, PB104, PB108, PB110, PB113 0.0 0.15 5 x PFAS (VDA) V PB PB104 0.5 1.0 1 5 2 0 1.0 1 25 2 0 2 5 4 x PFAS (VDA) PB PB108 0.5 1 0 1 x PFAS (VDA) PB PB110 0.15 0.5 0.5 1 0 2 X PFAS (VDA)
(VDA)
MM 15 (MM oneven nummers, behalve MM119) 0.0 0.3 15 x PFAS (VDA) MM 7 (MM even nummers) 0.0 0.1 7 x PFAS (VDA) 2 (GW) H PB 5 (PB101, PB104 PB108, PB110, PB113) 3.0 4.0 5 x PFAS (GW) HB PB1 (2018) PB5 (2018) PB9 (2018) 2.5 3.5 3 x PFAS (GW)

grondstaal (0,15 – 0,50 m-mv) genomen. Aangezien de concentraties in het topstaal de richtwaardes niet overschrijdt, werd het onderliggende staal niet onderzocht.

PB104 werd uitgevoerd ter hoogte van het meest gecontamineerde staal van het verkennend bodemonderzoek. Hiervan werd, naast het topstaal ter controle, een dieper staal (0,5-0,10 mmv) geanalyseerd in kader van de verticale afperking. Door de sterk verhoogde concentratie werden ook de onderliggende stalen van 1,0-1,5 m-mv en 1,5-2,0 m-mv ingezet voor analyse.

Aangezien staal PB104(1,5-2,0 m-mv) nog steeds verontreinigd was, werd PB104(2,0-2,5 mmv) nog ingezet om mogelijks de verontreiniging verticaal af te perken. De resultaten van dit staal zijn op heden nog niet binnen.

Verder werd er gekeken naar de verticale afperking ter hoogte van PB108 aan de rand van de zuidelijke woonzone. Hiervan werd staal PB108(0,5-1,0 m-mv) geanalyseerd.

Ook PB110 ligt aan de rand van die woonzone en werd verticaal ook verder onderzocht. Hier werd bijkomstig nog PB110(0,15-0,50m-mv) onderzocht. Aangezien hier de concentratie nog steeds verhoogd was, werd bijkomstig PB110(0,5-1,0 m-mv) ingezet. Van dit laatste staal is het resultaat nog niet binnen.

Ter hoogte van de tuinen aan het noordelijke en zuidelijke kant van de kazerne werden er in elke tuin 2 mengstalen genomen (10 steken, gemengd in één emmer) van 30 cm diep (dichtst tegen de kazerne) en van 10 cm diep (verder van de kazerne) om de verspreiding in de siertuinen (en eventueel moestuinen/kippenrennen) te onderzoeken. Enkel ter hoogte van de Abrikozenstraat 29 werd er geen toestemming verkregen om deze staalname uit te voeren. Hierdoor werden MM119 en MM120 niet uitgevoerd. Voor elke tuin werd eerst het staal van 30 cm diep geanalyseerd. Door de verhoogde concentraties in B107 (0,0-,0,15 m-mv), PB108 (0,0-,015 m-mv), MM123 (0,0-,0,3 m-mv), MM131 (0,0-,0,3cm-mv) en MM127 (0,0-,0,3cm-mv) werden MM16 (0,0-0,1 m-mv), MM22 (0,0-0,1 m -mv), MM24 (0,0-0,1 m -mv), MM26 (0,0-0,1 m -mv), MM28 (0,0-0,1 m -mv) en MM130 (0,0-0,1 m -mv) en MM132 (0,0-0,1 m -mv) ingezet voor analyse.

Grondwater:

In een eerste fase van het onderzoek werden ter horizontale afperking de bestaande peilbuizen

P1(4,4-5,4 m-mv), P5(4,3-5,3 m-mv) en P9(4,3-5,3 m-mv) van het OBO uit 2018 schoongespoeld en herbemonsterd. Verder werden 5 nieuwe, niet-snijdende peilbuizen geplaatst tot op een diepte van ca. 4,0 m-mv (GW = ca. 2,3 m-mv in juli 2021). PB104 werd in de meest verdachte zone geplaatst. PB108(3,0-4,0 m-mv) werd geplaatst in zuidelijke en vermoedelijk stroomopwaartse richting van de gekende grondwaterverontreiniging op perceel 192X De peilbuis werd grenzend aan de zuidelijke woonzone geplaatst. De peilbuizen PB110(3,0-4,0 m-mv) en PB113(3,0-4,0 m-mv) werden geplaatst ten oosten van de gekende grondwaterverontreiniging op het perceel 192X om de mogelijke impact om het voetbalveld te evalueren (gevoelige receptor) PB101(3,0-4,0 m-mv) werd stroomafwaarts geplaatst conform de procedure en met oog op de woonzone ten noorden en noordwesten van de kazerne. De 4 nieuwe peilbuizen werden samen met de bestaande peilbuizen P1(4,4-5,4 m-mv), P5(4,3-5,3 m-mv) en P9(4,3-5,3 m-mv) genivelleerd om de grondwaterstromingsrichting en het verhang te bepalen. De porositeit van de freatische watervoerende laag werd onderzocht a.d.h.v. een korrelgrootteverdeling van een grondstaal t.h.v. de freatisch watervoerende laag. De hydraulische geleidbaarheid werd bepaald aan de hand van een slugtest. Hierna kan een modelmatige berekening van de grondwaterstromingssnelheid worden uitgevoerd.

Beschrijvend bodemonderzoek: 24

Brandweer, Kloosterstraat 26-32, Merelbeke (Gent)

536794-R02(00)

3 RESULTATEN TERREIN- EN LABORATORIUMONDERZOEK

3.1 Metingen

Tabel 3-1: Overzicht veldwerk en laboratoriumonderzoek

Boringen / peilbuizen

Uitvoerder

Geosonda BV Derbystraat 299, 9051 Sint-Denijs-Westrem

Datum uitvoering 2-4 mei 2023

Boortechniek

Veldtesten -

Manueel (Edelmanboor)

Machinaal (geoprobe)

Wijze van monsterconservering Gekoeld

De stalen werden dagelijks overgebracht naar het labo

Boorprofielen Zie Bijlage 3

Peilbuis technische gegevens HDPE 32mm

Grondwaterbemonstering

Uitvoerder

Geosonda BV Derbystraat 299, 9051 Sint-Denijs-Westrem

Datum uitvoering Bemonstering peilbuizen: 11/05/2023

Nivellering en Slugtests: 16/05/2023

Wijze van monsterconservering

Gekoeld en op donkere plaats

De stalen werden dagelijks overgebracht naar het labo Veldwaarnemingen en veldmetingen Zie tabellen in Bijlage 1

De uitgevoerde boringen en peilbuizen evenals de coördinaten van de staalnamepunten zijn opgenomen in de tabel in Bijlage 2

Beschrijvend bodemonderzoek: 25

Brandweer, Kloosterstraat 26-32, Merelbeke (Gent)

536794-R02(00)

3.2 Resultaten veld- en laboratoriumonderzoek

3.2.1 Veldonderzoek

3.2.1.1 Vaste deel aarde

Op basis van de boorprofielen kan gesteld worden dat de grond ter hoogte van de onderzoekslocatie tot de maximaal geboorde diepte van ca. 4 m-mv hoofdzakelijk bestaat uit fijn zand met zwakke tot sterke bijmenging van silt. Vanaf ca. 1.0 à 2.0 m-mv wordt er ook een zwakke inmenging van klei waargenomen.

In sommige borignen werd een zwak (bak)steenhoudende laag teruggevonden in de eerste 1,0 m-mv. Ter hoogte van PB10 werd een sterk steenhoudende laag teruggevonden in de bovenste 0,5 m-mv.

In Bijlage 2 worden de boringen en peilbuizen weergegeven.

Beschrijvend bodemonderzoek: 26

Brandweer, Kloosterstraat 26-32, Merelbeke (Gent)

536794-R02(00)

3.2.1.2 Grondwater

Tijdens de monstername van het grondwater werden de veldwaarnemingen zoals geur, kleur en troebelheid genoteerd en de waarden voor de pH en geleidbaarheid gemeten. Ook werden de zuurstofcondities bepaald. De gegevens zijn opgenomen in onderstaande tabel.

Tabel 3-2: Overzicht grondwaterbemonsteringsgegevens

* De peilbuis werd leeggetrokken voordat de pH en EC-waardes stabiel waren.

De grondwatertafel bevond zich op een diepte variërend tussen 1,35 en 2,55 m-mv, gemiddeld op 1,95 m-mv. 5 van de 8 peilbuizen (allen niet-snijdend) werden leegetrokken waardoor de pH en EC-waardes mogelijks niet representatief zijn. Voor de overige 3 peilbuizen werden geen relevante afwijkende waarden gemeten voor pH (tussen 6.31-6.79) en EC (tussen 542-770 µS/cm).

Op de peilbuizen werd een nivellering uitgevoerd. Deze wordt besproken in hoofdstuk Fout! Verwijzingsbron niet gevonden..

In Tabel 1-8-1 worden de boringen en peilbuizen weergegeven.

Beschrijvend bodemonderzoek: 27

Brandweer, Kloosterstraat 26-32, Merelbeke (Gent)

536794-R02(00)

Naam Datum bemonstering Zintuiglijke waarneming Diepte filter (mtop PB) GWT (m-top PB) GWT (TAW) pH EC (µS/cm) T (°C) Redox (mV) O2 (mg/l) PB1 11/05/2023 - 3.35-4.35 1.49 21.72 6.31 651 14 - 2.34 PB5 11/05/2023 - 3.90-4.90 2.49 24.15 6.65* 649* 13.9* -* PB9 11/05/2023 - 4.30-5.30 1.89 20.91 6.48 542 14.3 - 3.11 PB101 11/05/2023 - 3.00-4.00 2.26 19.81 6.52* 1321* 12.2* -* PB104 11/05/2023 - 3.00-4.00 2.47 20.74 6.79 770 12.3 - 2.81 PB108 11/05/2023 - 3.00-4.00 1.29 22.18 7.28* 1018* 12.1* -* PB110 11/05/2023 - 3.00-4.00 1.72 21.18 6.41* 586* 12.6* -* PB113 11/05/2023 - 3.00-4.00 1.91 20.61 6.92* 1575* 12.9* -*

3.2.2 Putwater

n.v.t.

3.2.3 Afwijkingen van het CMA en/of de voorgestelde bemonsteringsstrategie (vaste deel, grondwater)

Vaste deel aarde

MM119 en MM120 werden niet genomen wegen geen toestemming van de eigenaar van perceel 189V2.

Grondwater

De nieuwe peilbuizen PB101, PB108, PB110 en PB113 werden niet-snijdend geplaatst met een filter van 3,00-4,00 m-mv doordat de grondwaterstand tijdens het plaatsten van de peilbuizen ca. 2,5 m-mv bedroeg. Tijdens het opmeten van de grondwaterstand voor de bemonstering bevond deze zich variërend tussen 1,35 en 2,55 m-mv, gemiddeld op 1,95 m-mv. Tijdens de bemonstering werden de peilbuizen leeggetrokken tijdens het voorspoelen in de voormiddag en werd het staal afgevuld met het grondwater dat in de namiddag opnieuw in de peilbuis werd aangetroffen. Hiervan wordt geen invloed verwacht op de PFAS analyses.

3.2.4 Afwijkingen tussen veldwaarnemingen en analyseresultaten

Niet van toepassing

3.2.5 Opmerkingen op de

analyserapporten

De analyseverslagen worden weergegeven in Bijlage 4

Tabel 3-3: Overzicht opmerkingen

Laboverslag Opmerking Motivatie

13862525-1 De rapportagegrens is verhoogd i.v.m. noodzakelijke verdunning.

Vermelde voetnoot heeft betrekking tot de analyse van PFDoDS in het vaste deel aarde van PB104-3 (0.5-1.0 m-mv). Het heeft slechts een beperkte invloed op de grootteorde van het analyseresultaat. Met deze opmerkingen wordt rekening gehouden bij de interpretatie/evaluatie van de resultaten.

13870674-1

13868326-1 De toegevoegde interne standaard vertoont een laag rendement. Hierdoor is de betrouwbaarheid van het resultaat mogelijk beïnvloed

13868326-1 Door matrixstoring is de onzekerheid in het resultaat vergroot.

Vermelde voetnoot heeft betrekking tot de analyse van PFHxSA in het vaste deel aarde van PB104-4 (1.0-1.25 m-mv). Met deze opmerkingen wordt rekening gehouden bij de interpretatie/evaluatie van de resultaten.

Vermelde voetnoot heeft betrekking tot de analyse van PFBA in het grondwater van PB108 (2.0-3.0 mmv) en PB101 (2.0-3.0 m-mv). Hiermee wordt rekening gehoudenbij hetevaluerenvan de resultaten

Vermelde voetnoot heeft betrekking tot de analyse van PFBS in het grondwater van PB101 (2.0-3.0 mmv) Hiermee wordt rekening gehouden bij het evalueren van de resultaten.

Beschrijvend bodemonderzoek:

Brandweer, Kloosterstraat 26-32, Merelbeke (Gent)

536794-R02(00)

28

4 EVALUATIE VAN DE RESULTATEN

4.1 Beoordelingskader

De onderzoeksresultaten worden beoordeeld conform volgend beoordelingskader:

Tabel 4-1: Beoordelingskader

Evaluatie Omschrijving

• Voor geen enkele genormeerde parameter werd de richtwaarde voor het vaste deel van de aarde en het grondwater overschreden.

• Voor geen enkele niet-genormeerde parameter is de toetsingswaarde ‘richtwaarde’ overschreden.

OPM:

Indien op een kadastraal perceel uitsluitend afperkende boringen zijn uitgevoerd en hierbij is geen bodemverontreiniging vastgesteld (onder de richtwaarde), dan moet er voor dit kadastraal perceel geen uitspraak worden gedaan. Dit geldt niet indien het kadastrale perceel een bronperceel is.

Een O-zin wordt dus enkel toegewezen aan:

• een bronperceel;

• een verspreidingsperceel waarop tijdens het beschrijvend bodemonderzoek een ontgraving tot onder de richtwaarde werd uitgevoerd;

• een perceel waarop in een vroegerbodemonderzoek een bodemverontreiniging werd vastgesteld dat niet herbevestigd wordt tijdens het beschrijvend bodemonderzoek.

• De richtwaarde wordt overschreden voor een of meerdere genormeerde parameters, maar er is voor het vaste deel van de aarde en/of het grondwater geen noodzaak tot bodemsanering.

• Voor geen enkele niet genormeerde parameter is er bodemsanering nodig.

Q

• (Nieuwe bodemverontreiniging) Er is bodemsanering nodig omdat de bodemsaneringsnorm is overschreden of omdat er een ernstige bodemverontreiniging is vastgesteld die omwille van haar bijzondere aard niet aan bodemsaneringsnormen kan worden getoetst.

• (Historische bodemverontreiniging) Er is bodemsanering nodig omdat er een ernstige bodemverontreiniging is vastgesteld.

• Er is bodemsanering nodig.

W

• De vastgestelde bodemverontreiniging is niet totstand gekomen op deze grond. De saneringsplicht rust bij de eigenaar of gebruiker van de grond waar de bodemverontreiniging tot stand kwam.

• Er is geen bodemsanering nodig.

U

• De vastgestelde bodemverontreiniging is niet totstand gekomen op deze grond.

Beschrijvend bodemonderzoek:

Brandweer, Kloosterstraat 26-32, Merelbeke (Gent)

536794-R02(00)

29
O
P

4.1.1 Vaste deel van de aarde en grondwater

De analyseresultaten worden in de tabellen getoetst aan de streefwaarde (SW), de richtwaarde (RW) en bodemsaneringsnormen (BSN) van het toepasselijke bestemmingstype.

De bodemsaneringsnorm voor organische parameters wordt enkel beïnvloed door het organische stofgehalte. De pH en het kleigehalte hebben daarop geen invloed.

De vastgestelde gehaltes werden opgenomen in de onderstaande tabel:

Tabel 4-2: Overzicht structuurparameters

Beschrijvend bodemonderzoek: 30

Brandweer, Kloosterstraat 26-32, Merelbeke (Gent)

536794-R02(00)

Boring Diepte staalname (m-mv) Textuur (1) Organisch materiaal (% DS) pH-KCl Kleigehalte (% DS) Leemgehalte (% DS) Zandgehalte (% DS) PB104 3.5-4.0 Fijn zand, zwak siltig, zwak kleiïg - - 5.7 20.3 70 PB108 0-0.15 Fijn zand, zwak siltig 4.3 5.2 5.7 -PB108 3.5-4.0 Fijn zand, zwak siltig, zwak kleiïg - - 7.1 22.9 65 PB104 0.5-1.0 Fijn zand, zwak siltig 4.7 7.6 5.4 - -
(1) Volgens de boorbeschrijving

4.1.2 PFAS in het vaste deel van de aarde en het grondwater

De analyseresultaten van PFOA, PFOS en som PFAS worden in de tabellen (Bijlage 1) getoetst aan de ontwerpnormen voor streefwaarde (SW), de richtwaarde (RW) en bodemsaneringsnormen (BSN) van het toepasselijke bestemmingstype volgens de ‘Toetsingswaarden voor PFOS en PFOA in bodem en voor PFAS in grondwater, aanvulling bij basisinformatie voor risico-evaluaties publicatiedatum 04.04.2022’ (OVAM, 2022).

Voor het beschrijvend bodemonderzoek dient er afgeperkt te worden tot volgende concentraties:

• Vaste deel van de aarde:

o Toetsingswaarde “richtwaarde”:

▪ PFOS: zie bijlage 1;

▪ PFOA: zie bijlage 1;

▪ som PFAS (kwantitatief): zie bijlage 1;

o Toetsingswaarde “bodemsanering”

▪ PFOS: zie bijlage 1;

▪ PFOA: zie bijlage 1

• Grondwater:

o Toetsingswaarde “bodemsanering”

▪ Som PFAS (EU 20 DWRL): zie bijlage 1;

▪ Som PFAS (40 kwantitatieve + 8 indicatieve parameters): zie bijlage 1

4.1.3 Bepaling grondwaterstromingsrichting

Onderstaande tabel bevat informatie omtrent de peilbuizen en de grondwaterstanden die tijdens dit beschrijvend bodemonderzoek werden opgemeten met een laser ten opzichte van een referentiepunt. De meting werd uitgevoerd op 11/05/2023

Beschrijvend bodemonderzoek: 31

Brandweer, Kloosterstraat 26-32, Merelbeke (Gent)

536794-R02(00)

Tabel

Door interpolatie tussen de opgemeten grondwaterstanden kan de grondwaterstroming worden afgeleid. Een kaart met de grondwaterstroming is opgenomen in de kaartbijlagen

Uit het grondwaterstromingspatroon blijkt dat het ondiep grondwater ter hoogte van het onderzoeksterrein in noordelijke richting stroomt.

4.2 Evaluatie resultaten

Er wordt verwezen naar de toetsing van de resultaten in Bijlage 1. Overzichtsplannen met concentraties opgenomen in de kaartbijlagen in Bijlage 11 De contouren en dwarsdoorsnedes werden nog niet mee opgenomen in dit tussentijds rapport.

4.2.1 Bespreking aanvulling op het oriënterend bodemonderzoek

n.v.t.

4.2.2 Bespreking verontreinigingskern 1

4.2.2.1 Beschrijving

In het vaste deel van de aarde werd in het oriënterend bodemonderzoek een verontreiniging met PFAS vastgesteld ter hoogte van oefeningen met PFAS-houdend blusschuim ter hoogte van de brandweerkazerne, met een maximum gemeten concentratie van 160 µg/kg PFOS en 290 µg/kg voor de Som kwantitatief (d.d. 12/07/2021) ter hoogte van SW3(0,0-0,15

Beschrijvend bodemonderzoek:

Brandweer, Kloosterstraat 26-32, Merelbeke (Gent)

536794-R02(00)

32
4-3: Genivelleerde grondwaterstanden
m-mv). Peilbuis Diepte filter (m-top) Hoogte top peilbuis t.o.v. maaiveld (m) Diepte filter (m-mv) Niveau maaiveld (m TAW) Diepte GWT (mtop PB) Diepte GWT (m-mv) Niveau GWT (m TAW PB1 3.354.35 -0.02 3.374.37 23,234 1,49 1,51 21,72 PB5 3.904.90 -0.04 3.944.94 26,676 2,49 2,53 24,15 PB9 4.305.30 -0.05 4.355.35 22,848 1,89 1,94 20,91 PB101 3.004.00 -0.06 3.064.06 22,132 2,26 2,32 19,81 PB104 3.004.00 -0.08 3.084.08 23,286 2,47 2,55 20,74 PB108 3.004.00 -0.06 3.064.06 23,530 1,29 1,35 22,18 PB110 3.004.00 -0.05 3.054.05 22,948 1,72 1,77 21,18 PB113 3.004.00 -0.05 3.054.05 22,265 1,61 1,66 20,61

Bronperceel

Horizontale afperking

De hoogst aangetroffen concentratie bedraagt 8000 µg/kg ds (PFOS) en werd aangetroffen in boring PB104 op een diepte van 0,5-1,0 m-mv Voor dit staal werd ook de hoogste concentratie ‘SOM PFAS kwantitatief’ aangetroffen met een concentratie van 8258 µg/kg. De hoogste concentratie in de toplaag (0,0-0,15 m-mv) bedraagt 1800 µg/kg ds en wordt ook aangetroffen in PB104. De toetsingswaarde ‘richtwaarde’ werd voor PFOA enkel overschreden ter hoogte van PB104 (0,5-1,0 m-mv). Deze boring bevindt zich in de onverharde strook in zone 1.

Op de overige boorlocaties, uitgevoerd aan de perceelsgrens en de omliggende percelen, zijn de concentraties veel lager. Deze benaderen maximaal de van toepassing zijnde toetsingswaarde bodemsaneringnorm (tBSN) en op één locatie (B107(0,0-0,15mmv)) wordt tot 1.1x tBSN voor PFOS overschreden:

De toetsingswaarde ‘richtwaarde’ voor PFOS werd overschreden ter hoogte van B107(0,0-0,15 m-mv) (19µg/kgDS PFOS (1,1x tBSN-III)), PB108(0,0-0,15 m-mv) (3,5µg/kgDS PFOS (0,2x tBSNIII), B109(0,0-0,15 m-mv) (18µg/kgDS PFOS (>RW, getoetst aan type III)), PB110(0,0-0,15 m-mv) (8,6µg/kgDS PFOS (>RW, getoetst aan type III)) en PB110(0,15-0,5) (3,7µg/kgDS (>RW, getoetst aan type III))

De toetsingswaarde richtwaarde ‘Som PFAS kwantitatief’ werd overschreden ter hoogte van B107(0,0-0,15 m-mv) (21,3µg/kgDW (2.7x RW)), PB108(0,0-0,15 m-mv) (9,2µg/kgDW (1,1x RW)), B109(0,0-0,15 m-mv) (24.4µg/kgDW (3,1x RW)), en PB110(0,0-0,15 m-mv) (27,7µg/kgDS (3,5x RW)), en PB110(0,15-0,5) (22,5µg/kgDS (2,8x RW)). Hier komen buiten PFOS, vooral de korte keten carbonzuren voor. De kortste ketens (4-5 C) komen in B107(0,0-0,15 m-mv), waarbij er richting het oosten meer bijmenging komt van de iets langere ketens (5-10 C, PB10(0,0-0,15 m-mv)). In PB108(0,0-0,15 m-mv), B109(0,0-0,15 m-mv), en PB110(0,0-0,15 m-mv), wordt voor 6:2 FTS ook de detectielimiet overschreden

In horizontale richting werd de verontreiniging in de toplaag van 0,0 tot 0,15 m-mv afgeperkt:

- in het noorden: door de boringen PB101, B102, B103 en B105.

- in het westen: door boring B106

Verticale afperking

PB104 bevatte de hoogste concentratie PFAS in de toplaag (0,0-0,15 m-mv). Hierdoor werden er diepe stalen ingezet voor de verticale afperking. PB104(0,5-1,0 m-mv) , PB104(1,0-1,25 m-mv) en PB104(1,5-2,0 m-mv) werden bijkomstig ingezet voor analyse. Hier is te zien dat de concentratie PFOA een maximale concentratie heeft op diepte 1,01,25 m-mv (6.5µg/kgDS) en in staal 1,5-2,0 m-mv terug onder de richtwaarde daalt Deze overschrijdt de tBSN niet. PFOS (en 6:2 FTS) vertonen samen met de SOM PFAS kwantitatief een maximale concentratie op een diepe van 0,5-1,0 m-mv. In staal PB104(1,5-2,0 m-mv) is de verontreiniging nog niet afgeperkt, maar is de concentratie sterk dalende (160µg/kgDS). Hierdoor werd PB104(2,0-2,5 m-mv) nog ingezet voor analyse. Deze resultaten zijn op heden nog niet beschikbaar. Ook is te zien dat het aantal aanwezig PFAS parameters daalt in de diepte.

In PB108 werd geen overschrijding van de richtwaarden meer aangetroffen op een diepte van 0,5-1,0 m-mv.

De verontreiniging ter hoogte van PB110 is nog niet afgeperkt tot onder de RW op 0,150,5 m-mv (zie hierboven) en werd bijkomstig onderzocht tot 1,0 m-mv.

In het grondwater werd in het oriënterend bodemonderzoek een verontreiniging met PFAS vastgesteld ter hoogte van oefeningen met PFAS-houdend blusschuim ter hoogte

Beschrijvend bodemonderzoek: 33

Brandweer, Kloosterstraat 26-32, Merelbeke (Gent)

536794-R02(00)

van de brandweerkazerne met een maximum concentratie in peilbuis SW1(3,4-4,4 mmv) van 30 000 ng/L PFOS met een overschrijding van de toetsingswaardes ‘Som 20 EU DWRL’ (45 155 ng/L) en ‘Som PFAS kwantitatief + indicatief’ (75 510 ng/L).

Horizontale afperking

In huidig onderzoek bedraagt de hoogst aangetroffen concentratie 630 000 ng/l (PFOS) en werd aangetroffen in peilbuis PB104 met een filter van 3,08 tot 4,08 m-mv. In dit staal werd ook de hoogste concentratie Som PFAS kwantitatief + indicatief aangetroffen (990 000 ng/L).

In alle peilbuizen werd de toetsingswaarde ‘Som 20 EU DWRL’ overschreden. Ook de toetsingswaarde ‘Som PFAS kwantitatief + indicatief’ werd overschreden in alle peilbuizen

Net zoals in het vaste deel van de aarde, worden de hoogste concentraties gemeten in de onverharde strook in zone 1. De concentraties nemen snel af in zuidelijk stroomopwaartse richting. In stroomafwaartse richting tegen de Kloosterstraat ligt de concentratie reeds een factor 380 lager maar er worden nog steeds concentraties van 2600ng/l (som PFAS kwant. + ind.) gemeten. Opvallend zijn tevens de hoge concentraties die gemeten worden aan de oostelijke perceelsgrens (PB110 en PB 113), ondanks de afwezigheid van een bron in de directe omgeving.

Verticale afperking

Deze wordt uitgevoerd in fase 2.

Gevoelige receptoren: tuinen

De resultaten ter hoogte van de tuinen werden getoetst aan de toetsingswaardes voor BSIII-moestuin/kippen.

De hoogst aangetroffen concentratie in het vaste deel aarde (de mengmonsters) bedraagt 6,6 µg/kg ds (PFOS) (1,7x tBSNIII-moestuin/kippen) en werd aangetroffen in MM123(0,0-0,3 m-mv)

De toetsingswaarde ‘richtwaarde’ voor PFOA werd nergens overschreden.

Verder werd de toetsingswaarde ‘bodemsaneringsnorm’ voor PFOS heel licht overschreden ter hoogte van MM127(0,0-0,3 m-mv) (3.9µg/kgDS (1,03x tBSNIIImoestuin/kippen)) en MM131(0,0-0,3 m-mv) (1,60x tBSNIII-moestuin/kippen).

De toetsingswaarde richtwaarde ‘Som PFAS kwantitatief’ werd enkel gehaald of licht overschreden in MM127(0,0-0,3 m-mv) en MM1331(0,0-0,3 m-mv). Hierbij worden er naast PFOS vooral korte keten carbonzuren teruggevonden (5-7 C). Ter hoogte van MM127 wordt de detectielimiet ook nog overschreden voor PFOSA*, EtPFOSA*, MePFOSAA, EtPFOSAA. Hiervan komt deze laatste ook nog voor in MM129.

B114(0,0-0,15 m-mv) en PB113(0,0-0,15m-mv) werden genomen in de tuin grenzend aan de noordoostelijke hoek van het brandweerterrein. Hier worden de toetsingswaardes ‘richtwaarde PFOA’, ‘richtwaarde PFOS’ en ‘Som PFAS kwantitatief’ niet overschreden.

Gevoelige receptoren: voetbalveld

Ter hoogte van het voetbalveld werden 2 stalen genomen in de helft dichtst bij de kazerne, zijnde B111(0,0-0,15 m-mv) en B112(0,0-0,15 m-mv).

Hierbij worden de toetsingswaardes ‘richtwaarde’ voor PFOA en PFOS en de ‘Som PFAS kwantitatief’ niet overschreden.

* Voor deze parameters werd door het labo enkel de lineaire vorm gerapporteerd.

Beschrijvend bodemonderzoek: 34

Brandweer, Kloosterstraat 26-32, Merelbeke (Gent)

536794-R02(00)

4.2.2.2 Historiciteit

De verontreiniging is ontstaan ten gevolge van het houdend van blusoefeningen in de periode van 1991 tot 2021. De kern van de verontreiniging komt overeen met de aangeduide brandweeroefenplaats. Ook het grote aandeel PFOS (en 6:2 FTS) duiden op blusschuim als bron van de verontreiniging.

Dit betekent dat de verontreiniging gemengd van aard is Op basis van de historische gegevens en de vaststellingen wordt het aandeel nieuwe verontreiniging bepaald op 87% en het aandeel historische verontreiniging op 1 %; De saneringsnoodzaak voor de verontreiniging met niet-genormeerde parameters wordt onafhankelijk van de historiciteit bepaald door uitvoering van een risico-evaluatie.

Beschrijvend bodemonderzoek: 35

Brandweer, Kloosterstraat 26-32, Merelbeke (Gent)

536794-R02(00)

5

BEPALING VAN DE BEMONSTERINGSSTRATEGIE

FASE 2

5.1 Uitwerking van de bemonsteringsstrategie fase 2

In onderstaande tabel wordt een overzicht gegeven van het voorziene veldwerk in het kader van het beschrijvend bodemonderzoek fase 2. Onderliggend voorstel heeft als doelstelling:

• Afperking kernzone ter hoogte van zone 1. De hoge concentraties in deze kernzone leiden tot een verspreidingsrisico en dienen zo snel mogelijk te worden in kaart gebracht en verwijderd. Een afgraving binnen het BBO of het opmaken van een gefaseerd BBO/BSP is aangewezen. Eerst dient deze zone te worden afgeperkt.

• Verder onderzoek naar mogelijke bronconcentraties aan de oostelijke perceelsgrens.

• Verdere horizontale en verticale afperking van het vaste deel van de bodem en het grondwater.

• Bijkomend onderzoek dichtst gelegen gevoelige receptor.

Beschrijvend bodemonderzoek: 36

Brandweer, Kloosterstraat 26-32, Merelbeke (Gent)

536794-R02(00)

Tabel 5-1: Bemonsteringsstrategie fase 2 beschrijvend bodemonderzoek

Referentienummer 0,0 0,15 15 x PFAS (VDA) V PB 2 (PB172, PB173) 2.5 1.5 3.0 2.0

Fase H PB

Afperking (1) 2 x PFAS (VDA) Reserve indien PB104 en PB110 nog niet zijn afgeperkt met de laatste analyse. Gevoelige receptor: School MM MM173 0.0 0.30 1 x PFAS (VDA) 2 (GW)

B150, B152, B153, 10 x (PB147, PB149, PB151, PB157, PB160, PB161, PB163, PB164, PB170, PB171)

4.0 5.0 10 x PFAS (GW) V PB 2 (PB172, PB173) 11,0 8 0 12,0 10 0 2 x PFAS (GW)

(3) Afperking: H (horizontaal) of V (Verticaal)

(4) B (Boring) - P (Peilbuis) – HB (Herbemonsteren) – MM (Mengmonster VDA)

Beschrijvend bodemonderzoek: 37

Brandweer, Kloosterstraat 26-32, Merelbeke (Gent) 536794-R02(00)

verontreiniging
Boring/peilbuis Diepte staal/filter Analyses Type (2) Aantal Van (m) Tot (m)
2 1 (VDA) Kernzone 1 B 5 x (B162, B173, B174, B175, B176) 0.5 1.0 2.5 1.0 1.5 3.0 15 x PFAS (VDA) PB 1 x (PB172) 0.5 1.0 2.5 1.0 1.5 3.0 3 x PFAS (VDA) Verdachte zone bij PB110 B 1x (B177) 0.5 1.0 1.0 1.5 2 x PFAS (VDA) PB 1 x (PB173) 0.5 1.0 1.0 1.5 2 x PFAS (VDA) H B 15 x (B148,
Vaste deel aarde B154, B155, B156, B158, B159, B162, B165, B166, B167, B168, B169)

De verontreiniging in het vaste deel aarde wordt horizontaal verder afgeperkt. Rond de kernzone en de verdachte zone bij PB110 worden er bijkomende staalnames gedaan voor een gedetailleerder beeld van deze zones, in functie van de afgraving. In de zone bij PB104, zullen de boringen worden doorgezet tot 3,0 m-mv, voor de zone bij PB110 tot 2,0 m-mv.

Door de mengmonsters in de tuinen rond de brandweerkazerne is er al een eerste beeld over hoe ver de verontreiniging verspreid is in de toplaag. Voor de afperkende contouren aan te kunnen duiden, wordt er in een aantal tuinen een ondiepe boringen geplaatst.

Gevoelige receptor: School

Hoewel de PFAS concentraties is de toplaag van PB101 en B105 onder de toetsingswaardes viel, wordt de gevoelige receptor toch gecontroleerd door middel van een mengstaal in de meest gebruikte speelzones.

Grondwater

Voor de horizontale afperking van de grondwaterverontreiniging worden er nieuwe peilbuizen geplaatst op grotere afstand van de kazerne.

Voor de verticale afperking wordt er ter hoogte van de kernzone (ter hoogte van PB104) een diepe peilbuis gezet tot 12,0 m-mv.

Een tweede diepe peilbuis wordt geplaatst ter hoogte van PB110 waar de tweede hoogste concentraties werden aangetroffen. Deze peilbuis zal worden geplaatst tot 10,0 m-mv.

Binnen voorliggend plan van aanpak werd enkel de bemonsteringsstrategie voor de uitvoering van een tweede fase van het onderzoek uitgewerkt. De bijgevoegde meetstaat werd opgemaakt voor enkel prestaties, veldwerk en analyses die worden uitgevoerd als tweede fase van het onderzoek.

Bijkomende onderzoeksfasen maken voorlopig nog geen deel uit van voorliggend plan van aanpak en de bijhorende kostprijsberekening.

Beschrijvend bodemonderzoek:

Brandweer, Kloosterstraat 26-32, Merelbeke (Gent)

536794-R02(00)

38

6 RISICO-EVALUATIE VERONTREINIGINGSKERN

Naar aanleiding van de staalnames in de tuinen van de buurtbewoners werd er in de eerste fase reeds nagegaan of er voorzorgsmaatregelen nodig zijn. Voor deze inschatting werd een eerste risico-evaluatie gedaan met de huidige resultaten van de mengmonsters.

Hieruit wordt besloten dat er bij de hoogst gemeten concentratie in het vaste deel aarde geen risico-index >1 wordt bekomen, waardoor er geen voorzorgsmaatregelen nodig lijken. Het blijft echter aan te raden om voorlopig de no-regret regels nog steeds goed na te leven, aangezien het onderzoek nog bezig is en nog niet alle resultaten bekend zijn

In het grondwater worden er hoge concentraties PFAS aangetroffen. Daardoor wordt er sterk aangeraden de no-regret regels strikt te blijven volgen in verband met grondwater.

Beschrijvend bodemonderzoek: 39

Brandweer, Kloosterstraat 26-32, Merelbeke (Gent)

536794-R02(00)

7 BETROUWBAARHEID ONDERZOEK

Het onderhavige onderzoek is op zorgvuldige wijze verricht volgens algemeen gebruikelijke inzichten en methoden. De advisering is overeenkomstig onze algemene voorwaarden.

RSK Benelux BV streeft bij elk bodem- en/of grondwateronderzoek naar een optimale representativiteit. Echter, een dergelijk onderzoek is gebaseerd op het verrichten van een beperkt aantal boringen en het nemen van een beperkt aantal monsters. Hierdoor blijft het mogelijk dat plaatselijk afwijkingen in de samenstelling van grond en/of grondwater aanwezig zijn, welke tijdens het onderzoek niet naar voren zijn gekomen waardoor de werkelijke omvang van de verontreiniging significant kan afwijken van de gerapporteerde feiten.

Voor het verzamelen van feitelijke historische informatie is gebruik gemaakt van plannen en vergunningen zoals deze door de verschillende archiefdiensten ter beschikking zijn gesteld. Hiermee kan niet uitgesloten worden dat bepaalde relevante informatie niet ter inzage is gelegd. Het is ook mogelijk dat de verstrekte plannen niet gerealiseerd zijn en dat de ligging van bepaalde bronlocaties niet in overeenstemming is met de werkelijke situatie. RSK Benelux BV is niet aansprakelijk voor hieruit voortvloeiende schade of gevolgen van welke aard ook.

Hierbij wordt er tevens op gewezen dat het uitgevoerde bodemonderzoek een momentopname is. Beïnvloeding van grond- en grondwaterkwaliteit zal ook plaats kunnen vinden na uitvoering van dit onderzoek, bijvoorbeeld door het bouwrijp maken van een terrein of door aanvoer van grond van elders.

Naarmate er een langere tijd is verlopen na uitvoering van het onderzoek dient meer voorzichtigheid/voorbehoud te worden betracht bij het gebruik van de onderzoeksresultaten.

Beschrijvend bodemonderzoek: 40

Brandweer, Kloosterstraat 26-32, Merelbeke (Gent)

536794-R02(00)

Beschrijvend bodemonderzoek: 41

Brandweer, Kloosterstraat 26-32, Merelbeke (Gent)

536794-R02(00)

8 BIJLAGEN RAPPORT

TOETSING ANALYSERESULTATEN EN RESULTATEN VELDMETINGEN

Beschrijvend bodemonderzoek: 42

Brandweer, Kloosterstraat 26-32, Merelbeke (Gent)

536794-R02(00)

Totalen volgens CMA/3/D (dd 08/2022)

Berekeningen totalen en indices DAEB en prioriteitenindex

Verdachte zone Kadastraal perceel

Monsternaam

Datum monstername

Diepte monstername (m-mv)

Zintuiglijke waarneming

Aangetroffen op diepte (m-mv)

Toetsingswaarden RW/BSN vaste deel van de aarde (µg/kgds)*

Totalen berekend risico-evaluatie

Optonele bepaling (3) volgens CMA/3/D (dd 11/2021)

* Gebaseerd op 'toetsingswaarden voor PFOS en PFOA in bodem en voor PFAS in grondwater, OVAM 04.04.2022’

** Voor PFOA, PFOS en PFBA Gebaseerd op 'afleiden van streefwaarden voor perfluorverbindingen', OVAM d.d. 05.03.2021.

*** waarden onder de rapportagegrens worden niet in de sommatie opgenomen

De bepalingsgrenzen van de analysemethode (vloeistofchromatografie) bedragen voor de kwantitatieve PFAS in de bodem ten hoogste 0,5 µg/kg ds per component

Legende:

italic: > SW ; italic + onderlijnd: > RW ; italic+onderlijnd+vet: > BSN

grijs = deel van EFSA-4

192X 192X 192X192X Bestemmingstype: BlusoefeningBlusoefeningBlusoefeningBlusoefening BSN-III SW3 SW4 SW5SW6 12/07/2112/07/2112/07/2112/07/21 0.0-0.150.0-0.150.0-0.150.0-0.15 - - -- - -max. overschrijdingsfactor Componenten SW**RWBSN Kwantitatieve bepaling (31) volgens CMA/3/D (dd 11/2021) 1 perfluoro-n-butaanzuur PFBA 0,70 3,00 <0.23,30 2 perfluor-n-pentaanzuur PFPeA 3,90 13,00 <0.212,00 3 perfluor-n-hexaanzuur PFHxA 3,00 8,70 <0.28,10 4 perfluor-n-heptaanzuur PFHpA 0,60 3,90 <0.22,10 5 perfluor-n-octaanzuur PFOA1,03,089 1,70 0,30 <0.20,70 0,02 6 perfluor-n-nonaanzuur PFNA 0,30 0,40 <0.2<0.2 7 perfluor-n-decaanzuur PFDA 0,40 0,60 <0.20,30 8 perfluor-n-undecaanzuur PFUnDA 0,30 0,30 <0.2<0.2 9 perfluor-n-dodecaanzuur PFDoDA 0,50 0,30 <0.2<0.2 10 perfluor-n-tridecaanzuur PFTrDA <0.2 <0.2 <0.2<0.2 11 Perfluor-n-tetradecaanzuur PFTeDA <0.2 <0.2 <0.2<0.2 12 perfluor-n-hexadecaanzuur PFHxDA <0.2 <0.2 <0.2<0.2 13 perfluor-n-butaansulfonzuur PFBS <0.2 <0.2 <0.2<0.2 14 Perfluor-n-pentaansulfonzuur PFPeS <0.2 <0.2 <0.2<0.2 15 perfluor-n-hexaansulfonzuur PFHxS 2,20 0,40 <0.2<0.2 16 perfluor-n-heptaansulfonzuur PFHpS 1,00 <0.2 <0.2<0.2 0 perfluor-n-octaansulfonzuur PFOS 1,53,018 160,00 46,00 0,90 3,40 8,89 18 perfluor-n-nonaansulfonzuur PFNS 37,00 1,50 <0.2<0.2 19 perfluor-1-decaansulfonzuur PFDS 11,00 0,60 <0.2<0.2 20 perfluor-1-octaansulfonamide PFOSA 16,00 0,60 <0.2<0.2 21 N-methylperfluoroctaansulfonamide MePFOSA <0.5 <0.5 <0.5<0.5 22 N-ethylperfluoroctaansulfonamide EtPFOSA <0.5 <0.5 <0.5<0.5 23 N-methylperfluoroctaansulfonamidoazijnzuurMePFOSAA <0.5<0.5<0.5<0.5 24 N-ethylperfluoroctaansulfonamidoazijnzuurEtPFOSAA <0.5<0.5<0.5<0.5 25 4:2 fluortelomeersulfonzuur 4:2 FTS <0.2 <0.2 <0.2<0.2 26 6:2 fluortelomeersulfonzuur 6:2 FTS 21,00 10,00 <0.212,00 27 8:2 fluortelomeersulfonzuur 8:2 FTS 1,00 <0.2 <0.2<0.2 28 8:2 fluortelomeerfosfaat diester 8:2 diPap <0.2 <0.2 <0.2<0.2 29 hexafluorpropyleenoxidedimeerzuur HFPO-DA 30 4,8-dioxa-3H-perfluornonaanzuur ADONA <0.2 <0.2 <0.2<0.2 31 perfluor-4-ethylcyclohexaansulfonzuur PFECHS <0.2 <0.2 <0.2<0.2 Indicatieve bepaling (9) volgens CMA/3/D (dd 11/2021) 1 perfluor-n-octadecaanzuur PFODA <0.5 <0.5 <0.5 <0.5 2 perfluor-1-dodecaansulfonzuur PFDoDS 5,30 <0.5 <0.5 <0.5 3 6:2 fluortelomeerfosfaat diester 6:2 diPAP <0.5 <0.5 <0.5 <0.5 4 6:2/8:2 fluortelomeerfosfaat diester 6:2/8:2 diPAP <0.5 <0.5 <0.5 <0.5 5 10:2 fluortelomeersulfonzuur 10:2 FTS 0,70 <0.2 <0.2 <0.2 6 perfluor-1-butaansulfonamide PFBSA 7 N-methylperfluorbutaansulfonamide MePFBSA 8 N-methylperfluorbutaansulfonylamide acetaatMePFBSAA 9 perfluor-1-hexaansulfonamide PFHxSA Som PFAS kwantitatief (31) *** Analysecertificaat 8,0 290,00 96,00 <5.8 43,00 Som-PFAS kwantitatief + indicatief Berekend 290,00 96,00 0,00 43,00 PFAS-som EFSA-4 (PFOS, PFOA, PFNA, PFHxS) Analysecertificaat 164,20 47,10 0,90 4,10 (deel)-Index Som PFAS kwantitatief *** excl PFOS en PFOA Berekend 128,30 49,70 <5.8 38,90 7,13 Som-PFAS kwantitatief + indicatief excl PFOS en PFOABerekend 128,3049,700,0038,907,13 CIb voor DAEB 16,04 CIb voor prioriteiten-index 16,04 PFAS som (PFCA - kwantitatief) 33,40 40,50 0,00 38,50 PFAS som (PFSA - kwantitatief) 227,2049,100,903,40 1 perfluoroctaansulfonamidoazijnzuur PFOSAA
6:2 fluortelomeerfosfaat monoester
8:2 fluortelomeerfosfaat
2
6:2 PAP 3
monoester 8:2 PAP

Kadastraal perceel

Verdachte zone

Monsternaam

Datum monstername

Analysedatum

Diepte filter (m-mv)

Diepte grondwaterniveau (m-mv)

Zintuiglijke waarneming

EC (µs)

pH

Kwantitatieve bepaling (40) volgens WAC/IV/A/025 (dd 12/2022)

1 perfluoro-n-butaanzuurPFBAng/l1900440

2 perfluor-n-pentaanzuurPFPeAng/l8400790

3 perfluor-n-hexaanzuurPFHxAng/l5300910

4 perfluor-n-heptaanzuurPFHpAng/l760160

5 perfluor-n-octaanzuur (lineair) PFOA ng/l65018

6 perfluor-1-octaanzuurPFOAng/l69020

7 perfluor-n-nonaanzuurPFNAng/l17<1

8 perfluor-n-decaanzuurPFDAng/l<1<1

9 perfluor-n-undecaanzuurPFUnDAng/l<1<1

10 perfluor-n-dodecaanzuurPFDoDAng/l<1<1

11 Perfluor-n-tetradecaanzuurPFTeDAng/l<1<1

12 Perfluor-n-hexadecaanzuurPFHxDAng/l<1<1

13 Perfluor-n-butaansulfonzuurPFBSng/l2609

14 Perfluor-n-pentaansulfonzuurPFPeSng/l2605

15 perfluor-n-hexaansulfonzuur PFHxS

32 N-ethylperfluoroctaansulfonamido-azijnzuurEtPFOSAAng/l<1<1

33 8:2 fluortelomeerfosfaat diester8:2 diPAPng/l<1<1

34 hexafluorpropyleenoxidedimeerzuurHFPO-DAng/l<1<1

35 4,8-dioxa-3H-perfluornonaanzuurADONAng/l<1<1

36 perfluor-4-ethylcyclohexaansulfonzuurPFECHSng/l300<1

37 perfluor-n-butaansulfonamidePFBSAng/l

38 N-methylperfluor-n-butaansulfonamideMePFBSAng/l

39 N-methylperfluor-n-butaansulfonylamide azijnzuurMePFBSAAng/l

40 perfluor-n-hexaansulfonamidePFHxSAng/l

Indicatieve bepaling (8) volgens WAC/IV/A/025 (dd 12/2022)

1 Perfluor-n-tridecaanzuurPFTrDAng/l<1<1

2 perfluor-n-octadecaanzuurPFODAng/l<2<2

3 perfluor-1-dodecaansulfonzuurPFDoDSng/l<1<1

4 perfluor-1-undecaansulfonzuurPFUnDSng/l

5 perfluor-1-tridecaansulfonzuurPFTrDSng/l

6 6:2 fluortelomeerfosfaat diester6:2 diPAPng/l

diPAPng/l<10<10

Totalen volgens WAC/IV/A/025 (dd 12/2022)

Berekeningen totalen en indices DAEB en prioriteitenindex

Totalen berekend risico-evaluatie

bepaling (3) volgens WAC/IV/A/025 (dd 12/2022) 2 perfluoroctaansulfonamidoazijnzuurPFOSAAng/l

2 6:2 fluortelomeerfosfaat monoester6:2 PAPng/l

3 8:2 fluortelomeerfosfaat monoester8:2 PAPng/l ng/l

* Gebaseerd op 'toetsingswaarden voor PFOS en PFOA in bodem en voor PFAS in grondwater , OVAM 04.04.2022’

** Overgenomen van analysecertificaat of volgens

***bovengrens van som van alle PFAS (6000 parameters) in het grondwater volgens EFSA

***European Food Safety Authority - ontwerp (17/9/2020)

De rapportage- of bepalingsgrens voor grondwater bedraagt 10 ng/l

Legende:

vet+onderlijn+italics:

grijs = deel van EDWR-20

(1)Toetsing volgens OVAM - ‘Toetsingswaarden voor PFOS en PFOA in bodem en PFAS in GW”

(2)Toetsing volgens OVAM - CvGP BBO PFAS

> toetsinswaarde bodemsaneringsnorm

192X 192X Oefening Blusschuim Oefening Blusschuim SW1 SW2 20/07/21 20/07/21 22-29/07/202122-29/07/2021 3.4-4.4 3.2-4.2 2,55 2,1 -Toetsingswaarden normen grondwater (ng/l)*
EenheidSWRW BSN max. overschrijdingsfactor
Componenten
ng/l 16 perfluor-1-hexaansulfonzuurPFHxSng/l370053 17 perfluor-n-heptaansulfonzuurPFHpSng/l8201 18 perfluor-n-octaansulfonzuur PFOS ng/l1200010 19 perfluor-1-octaansulfonzuurPFOSng/l2300014 20 perfluor-n-nonaansulfonzuurPFNSng/l48<1 21 perfluor-1-decaansulfonzuurPFDSng/l<1<1 22 4:2 fluortelomeersulfonzuur4:2 FTSng/l71 23 6:2 fluortelomeersulfonzuur6:2 FTSng/l30000540 24 8:2 fluortelomeersulfonzuur8:2 FTSng/l<1<1 25 perfluor-n-octaansulfonamide PFOSA ng/l 26 perfluor-1-octaansulfonamidePFOSAng/l<1<1 27 N-methylperfluor-n-octaansulfonamide MePFOSA ng/l 28 N-methylperfluor-1-octaansulfonamideMePFOSAng/l<2<2 29 N-ethylperfluor-n-octaansulfonamide EtPFOSA ng/l 30 N-ethylperfluor-1-octaansulfonamideEtPFOSAng/l<4<4 31 N-methylperfluoroctaansulfonamido-azijnzuurMePFOSAAng/l<1<1
6:2 fluortelomeersulfonzuur (afvalwater) 6:2 FTSng/l ng/l Som-PFAS kwantitatief - wac 2022 (30) Berekend 500 75510 2943 Som PFAS indicatief - wac 2022 (12) Berekend 00 Som 20 EU DWRL kwantitatief+indicatief Berekend 100 45155 2402 Som EFSA-4 (PFOS, PFOA, PFNA, PFHxS)**,*** Analysecertificaat ng/l ng/l (deel) -Index Som 20 EU DWRL kwantitatief (16 parameters) Berekend ng/l451552402451,55 Som-PFAS kwantitief excl som EU DWRL (16) Berekend ng/l3035554160,71 Som-PFAS kwantitatief + indicatief excl som EU DWRL (20) Berekend ng/l3035554160,71 CIgw voor DAEB 512,26 CIgw voor prioriteitenindex 60,71 PFAS som (PFCA kwantitatief) Berekend ng/l470742861 PFAS som (PFSA kwantitatief) Berekend ng/l2838882 Optonele
7 6:2/8:2 fluortelomeerfosfaat diester6:2/8:2
8 10:2 fluortelomeersulfonzuur10:2 FTSng/l<4<4

Bestemmingstype:

Kadastraal perceel

Verdachte zone

Meetpunt

Datum monstername

Diepte monstername (m-mv)

Toetsingswaarden RW/BSN vaste deel van de aarde (µg/kgds)*

Totalen volgens CMA/3/D (dd 08/2022)

Berekeningen totalen en indices DAEB en prioriteitenindex

Totalen berekend risico-evaluatie

Optonele bepaling (3) volgens CMA/3/D (dd 11/2021)

* Gebaseerd op 'toetsingswaarden voor PFOS en PFOA in bodem en voor PFAS in grondwater, OVAM 04.04.2022’

** Voor PFOA, PFOS en PFBA Gebaseerd op 'afleiden van streefwaarden voor perfluorverbindingen', OVAM d.d. 05.03.2021.

*** waarden onder de rapportagegrens worden niet in de sommatie opgenomen

De bepalingsgrenzen van de analysemethode (vloeistofchromatografie) bedragen voor de kwantitatieve PFAS in de bodem ten hoogste 0,5 µg/kg ds per component

Legende:

italic: > SW italic + onderlijnd: > RW italic+onderlijnd+vet: > BSN

grijs = deel van EFSA-4

BSN-III PB101 B102 B103 PB104 PB104 PB104 PB104 B105 B106 B107 PB108 PB108 B109 PB110 PB110 02/05/23 02/05/23 02/05/23 02/05/23 02/05/23 02/05/23 02/05/23 02/05/23 02/05/23 02/05/23 02/05/23 02/05/23 02/05/23 02/05/23 02/05/23 0.0-0.15 0.0-0.15 0.0-0.15 0.0-0.15 0.5-1.0 1-1,25 1,5-2,0 0.0-0.15 0.0-0.15 0.0-0.15 0.0-0.15 0,5-1,0 0.0-0.15 0.0-0.15 0.15-0.50 max. overschrijdingsfactor Componenten SW** RW BSN Kwantitatieve bepaling (31) volgens CMA/3/D (dd 11/2021) 1 perfluoro-n-butaanzuur PFBA <0.5 <0.5 <0.5 <0.5 <0.5 <0,5 2,4 <0.5 <0.5 0,68 0,6 <0.5 0,94 1,2 0,52 2 perfluor-n-pentaanzuur PFPeA <0.5 0,84 <0.5 2,4 1,4 1,1 14 <0.5 <0.5 1,1 2,4 0,53 3,2 2,5 1,7 3 perfluor-n-hexaanzuur PFHxA <0.5 <0.5 <0.5 2,1 1,8 0,85 8,1 <0.5 <0.5 <0.5 0,77 <0.5 0,83 1,3 1,3 4 perfluor-n-heptaanzuur PFHpA <0.5 <0.5 <0.5 0,83 <0.5 0,53 1,3 <0.5 <0.5 <0.5 <0.5 <0.5 0,67 0,58 1,3 5 perfluor-n-octaanzuur PFOA 1,0 3,0 89 <0.5 <0.5 <0.5 2,3 4,2 6,5 0,9 <0.5 <0.5 <0.5 <0.5 <0.5 <0.5 <0.5 <0,5 0,07 6 perfluor-n-nonaanzuur PFNA <0.5 <0.5 <0.5 <0.5 <0.5 <0.5 <0.5 <0.5 <0.5 <0.5 <0.5 <0.5 <0.5 0,67 <0.5 7 perfluor-n-decaanzuur PFDA <0.5 <0.5 <0.5 1,6 <0.5 <0.5 <0.5 <0.5 <0.5 <0.5 <0.5 <0.5 <0.5 0,82 <0.5 8 perfluor-n-undecaanzuur PFUnDA <0.5 <0.5 <0.5 0,84 <0.5 <0.5 <0.5 <0.5 <0.5 <0.5 <0.5 <0.5 <0.5 <0.5 <0.5 9 perfluor-n-dodecaanzuur PFDoDA <0.5 <0.5 <0.5 1,1 <0.5 <0.5 <0.5 <0.5 <0.5 <0.5 <0.5 <0.5 <0.5 <0.5 <0.5 10 perfluor-n-tridecaanzuur PFTrDA <0.5 <0.5 <0.5 0,52 <0.5 <0.5 <0.5 <0.5 <0.5 <0.5 <0.5 <0.5 <0.5 <0.5 <0.5 11 Perfluor-n-tetradecaanzuur PFTeDA <0.5 <0.5 <0.5 0,53 <0.5 <0.5 <0.5 <0.5 <0.5 <0.5 <0.5 <0.5 <0.5 <0.5 <0.5 12 perfluor-n-hexadecaanzuur PFHxDA <0.5 <0.5 <0.5 <0.5 <0.5 <0.5 <0.5 <0.5 <0.5 <0.5 <0.5 <0.5 <0.5 <0.5 <0.5 13 perfluor-n-butaansulfonzuur PFBS <0.5 <0.5 <0.5 1,6 <0.5 <0.5 <0.5 <0.5 <0.5 <0.5 <0.5 <0.5 <0.5 <0.5 <0.5 14 Perfluor-n-pentaansulfonzuur PFPeS <0.5 <0.5 <0.5 1,4 <0.5 <0.5 <0.5 <0.5 <0.5 <0.5 <0.5 <0.5 <0.5 <0.5 <0.5 15 perfluor-n-hexaansulfonzuur (lineair) PFHxS (lineair) <0.5 <0.5 <0.5 11 13 6,6 2,9 <0.5 <0.5 0,53 <0.5 <0.5 <0.5 <0.5 <0.5 16 perfluor-n-heptaansulfonzuur PFHpS <0.5 <0.5 <0.5 1,7 1,7 1,5 1,2 <0.5 <0.5 <0.5 <0.5 <0.5 <0.5 <0.5 <0.5 17 perfluor-n-octaansulfonzuur PFOS 1,5 3,0 18 2,9 1,4 1,9 1800 8000 5500 160 0,56 0,86 19 3,5 0,72 18 8,6 3,7 444,44 18 perfluor-n-nonaansulfonzuur PFNS <0.5 <0.5 <0.5 140 3,5 <0.5 <0.5 <0.5 <0.5 <0.5 <0.5 <0.5 <0.5 <0.5 <0.5 19 perfluor-1-decaansulfonzuur PFDS <0.5 <0.5 <0.5 75 0,99 <0.5 <0.5 <0.5 <0.5 <0.5 <0.5 <0.5 <0.5 <0.5 <0.5 20 perfluor-1-octaansulfonamide (lineair) PFOSA (lineair) <0.5 <0.5 <0.5 190 1 <0.5 <0.5 <0.5 <0.5 <0.5 <0.5 <0.5 <0.5 <0.5 <0.5 21 N-methylperfluoroctaansulfonamide (lineair) MePFOSA (lineair) <0.5 <0.5 <0.5 0,93 <0.5 <0.5 <0.5 <0.5 <0.5 <0.5 <0.5 <0.5 <0.5 <0.5 <0.5 22 N-ethylperfluoroctaansulfonamide (lineair) EtPFOSA (lineair) <0.5 <0.5 <0.5 <0.5 <0.5 <0.5 <0.5 <0.5 <0.5 <0.5 <0.5 <0.5 <0.5 <0.5 <0.5 23 N-methylperfluoroctaansulfonamidoazijnzuur MePFOSAA <0.5 <0.5 <0.5 4,2 <0.5 <0.5 <0.5 <0.5 <0.5 <0.5 <0.5 <0.5 <0.5 <0.5 <0.5 24 N-ethylperfluoroctaansulfonamidoazijnzuur EtPFOSAA <0.5 <0.5 <0.5 1,4 <0.5 <0.5 <0.5 <0.5 <0.5 <0.5 <0.5 <0.5 <0.5 <0.5 <0.5 25 4:2 fluortelomeersulfonzuur 4:2 FTS <0.5 <0.5 <0.5 <0.5 <0.5 <0.5 <0.5 <0.5 <0.5 <0.5 <0.5 <0.5 <0.5 <0.5 <0.5 26 6:2 fluortelomeersulfonzuur 6:2 FTS <0.5 <0.5 <0.5 51 230 110 13 <0.5 <0.5 <0.5 1,9 <0.5 0,77 12 14 27 8:2 fluortelomeersulfonzuur 8:2 FTS <0.5 <0.5 <0.5 4,2 <0.5 <0.5 <0.5 <0.5 <0.5 <0.5 <0.5 <0.5 <0.5 <0.5 <0.5 28 8:2 fluortelomeerfosfaat diester 8:2 diPap <0.5 <0.5 <0.5 <0.5 <0.5 <0.5 <0.5 <0.5 <0.5 <0.5 <0.5 <0.5 <0.5 <0.5 <0.5 29 hexafluorpropyleenoxidedimeerzuur HFPO-DA <0.5 <0.5 <0.5 <0.5 <0.5 <0.5 <0.5 <0.5 <0.5 <0.5 <0.5 <0.5 <0.5 <0.5 <0.5 30 4,8-dioxa-3H-perfluornonaanzuur ADONA <0.5 <0.5 <0.5 <0.5 <0.5 <0.5 <0.5 <0.5 <0.5 <0.5 <0.5 <0.5 <0.5 <0.5 <0.5 31 perfluor-4-ethylcyclohexaansulfonzuur PFECHS <0.5 <0.5 <0.5 <0.5 <0.5 <0.5 <0.5 <0.5 <0.5 <0.5 <0.5 <0.5 <0.5 <0.5 <0.5 Indicatieve bepaling (9) volgens CMA/3/D (dd 11/2021) 1 perfluor-n-octadecaanzuur PFODA <0.5 <0.5 <0.5 <0.5 <0.5 <0.5 <0.5 <0.5 <0.5 <0.5 <0.5 <0.5 <0.5 <0.5 <0.5 2 perfluor-1-dodecaansulfonzuur PFDoDS <0.5 <0.5 <0.5 52 <0.56 <0.5 <0.5 <0.5 <0.5 <0.5 <0.5 <0.5 <0.5 <0.5 <0.5 3 6:2 fluortelomeerfosfaat diester 6:2 diPAP <0.5 <0.5 <0.5 <0.5 <0.5 <0.5 <0.5 <0.5 <0.5 <0.5 <0.5 <0.5 <0.5 <0.5 <0.5 4 6:2/8:2 fluortelomeerfosfaat diester 6:2/8:2 diPAP <0.5 <0.5 <0.5 <0.5 <0.5 <0.5 <0.5 <0.5 <0.5 <0.5 <0.5 <0.5 <0.5 <0.5 <0.5 5 10:2 fluortelomeersulfonzuur 10:2 FTS <0.5 <0.5 <0.5 2,8 <0.5 <0.5 <0.5 <0.5 <0.5 <0.5 <0.5 <0.5 <0.5 <0.5 <0.5 6 perfluor-1-butaansulfonamide PFBSA <0.5 <0.5 <0.5 <0.5 <0.5 <0.5 <0.5 <0.5 <0.5 <0.5 <0.5 <0.5 <0.5 <0.5 <0.5 7 N-methylperfluorbutaansulfonamide MePFBSA <0.5 <0.5 <0.5 <0.5 <0.5 <0.5 <0.5 <0.5 <0.5 <0.5 <0.5 <0.5 <0.5 <0.5 <0.5 8 N-methylperfluorbutaansulfonylamide acetaat MePFBSAA <0.5 <0.5 <0.5 <0.5 <0.5 <0.5 <0.5 <0.5 <0.5 <0.5 <0.5 <0.5 <0.5 <0.5 <0.5 9 perfluor-1-hexaansulfonamide PFHxSA <0.5 <0.5 <0.5 77 160 <500 13 <0.5 <0.5 <0.5 <0.5 <0.5 0,55 <0.5 <0.5 Som PFAS kwantitatief (31) *** Berekend 8,0 2,90 2,24 1,90 2294,65 8257,59 5627,08 203,80 0,56 0,86 21,31 9,17 1,25 24,41 27,67 22,52 Som PFAS indicatief*** berekend 0,00 0,00 0,00 131,80 160,00 0,00 13,00 0,00 0,00 0,00 0,00 0,00 0,55 0,00 0,00 Som-PFAS kwantitatief + indicatief Berekend 2,90 2,24 1,90 2426,45 8417,59 5627,08 216,80 0,56 0,86 21,31 9,17 1,25 24,96 27,67 22,52 PFAS-som EFSA-4 (PFOS, PFOA, PFNA, PFHxS) Berekend 2,90 1,40 1,90 1813,30 8017,20 5513,10 163,80 0,56 0,86 19,53 3,50 0,72 18,00 9,27 3,70 0,4 0,3 0,2 286,8 1032,2 703,4 25,5 0,1 0,1 2,7 1,1 0,2 3,1 3,5 2,8 (deel)-Index Som PFAS kwantitatief *** excl PFOS en PFOA Berekend 0,00 0,84 0,00 492,35 253,39 120,58 42,90 0,00 0,00 2,31 5,67 0,53 6,41 19,07 18,82 27,35 Som-PFAS kwantitatief + indicatief excl PFOS en PFOA Berekend 0,00 0,84 0,00 624,15 413,39 120,58 55,90 0,00 0,00 2,31 5,67 0,53 6,96 19,07 18,82 34,68 CIb voor DAEB 471,87 CIb voor prioriteiten-index 479,19 PFAS som (PFCA kwantitatief) 0,00 0,84 0,00 67,42 237,40 118,98 39,70 0,00 0,00 1,78 5,67 0,53 6,41 19,07 18,82 PFAS som (PFSA - kwantitatief) 2,90 1,40 1,90 2227,23 8020,19 5508,10 164,10 0,56 0,86 19,53 3,50 0,72 18,00 8,60 3,70 1 perfluoroctaansulfonamidoazijnzuur
2 6:2 fluortelomeerfosfaat
1100,00 3
PFOSAA
monoester 6:2 PAP
8:2 fluortelomeerfosfaat monoester 8:2 PAP

Meetpunt Datum monstername Diepte monstername (m-mv)

Toetsingswaarden RW/BSN vaste deel van de aarde (µg/kgds)*

Verdachte zone Kadastraal perceel Totalen volgens CMA/3/D (dd 08/2022) Berekeningen totalen en indices DAEB en prioriteitenindex Totalen berekend risico-evaluatie

Optonele bepaling (3) volgens CMA/3/D (dd 11/2021)

1 perfluoroctaansulfonamidoazijnzuur PFOSAA

2 6:2 fluortelomeerfosfaat monoester 6:2 PAP

3 8:2 fluortelomeerfosfaat monoester 8:2 PAP

* Gebaseerd op 'toetsingswaarden voor PFOS en PFOA in bodem en voor PFAS in grondwater, OVAM 04.04.2022’

** Voor PFOA, PFOS en PFBA Gebaseerd op 'afleiden van streefwaarden voor perfluorverbindingen', OVAM d.d. 05.03.2021.

*** waarden onder de rapportagegrens worden niet in de sommatie opgenomen

De bepalingsgrenzen van de analysemethode (vloeistofchromatografie) bedragen voor de kwantitatieve PFAS in de bodem ten hoogste 0,5 µg/kg ds per component

Legende: italic: > SW italic + onderlijnd: > RW italic+onderlijnd+vet: > BSN grijs = deel van EFSA-4

Bestemmingstype: BSN-III moestuin/kippen B111 B112 PB113 B114 MM115 MM116 MM117 MM121 MM122 MM123 MM124 MM125 MM126 MM127 MM128 MM129 MM130 MM131 MM132 MM133 MM135 MM137 MM139 MM141 MM143 MM145 03/05/23 03/05/23 02/05/23 02/05/23 03/05/23 03/05/23 03/05/23 03/05/23 03/05/23 03/05/23 03/05/23 03/05/23 03/05/23 03/05/23 03/05/23 03/05/23 03/05/23 03/05/23 03/05/23 03/05/23 11/05/23 03/05/23 11/05/23 03/05/23 03/05/23 03/05/23 0.0-0.15 0.0-0.15 0.0-0.15 0.0-0.15 0.0-0.3 0.0-0.1 0.0-0.3 0.0-0.3 0.0-0.1 0.0-0.3 0.0-0.1 0.0-0.3 0.0-0.1 0.0-0.3 0.0-0.1 0.0-0.3 0.0-0.1 0.0-0.3 0.0-0.1 0.0-0.3 0,0-0,3 0.0-0.3 0,0-0,3 0.0-0.3 0.0-0.3 0.0-0.3 max. overschrijdingsfactor Componenten SW** RW BSN Kwantitatieve bepaling (31) volgens CMA/3/D (dd 11/2021) 1 perfluoro-n-butaanzuur PFBA <0.5 <0.5 0,69 <0.5 <0.5 <0.5 0,63 <0.5 <0.5 <0.5 <0.5 <0.5 <0.5 <0.5 <0.5 <0.5 <0.5 0,95 <0.5 <0.5 <0.5 0,57 <0.5 <0.5 <0.5 <0.5 2 perfluor-n-pentaanzuur PFPeA <0.5 <0.5 1,1 <0.5 0,54 <0.5 1 <0.5 <0.5 0,75 <0.5 <0.5 <0.5 0,57 <0.5 <0.5 <0.5 0,84 <0.5 <0.5 <0.5 0,68 <0.5 0,72 <0.5 <0.5 3 perfluor-n-hexaanzuur PFHxA <0.5 <0.5 <0.5 <0.5 <0.5 <0.5 <0.5 <0.5 <0.5 0,51 <0.5 <0.5 <0.5 <0.5 <0.5 <0.5 <0.5 <0.5 <0.5 <0.5 <0.5 <0.5 <0.5 <0.5 <0.5 <0.5 4 perfluor-n-heptaanzuur PFHpA <0.5 <0.5 <0.5 <0.5 <0.5 <0.5 0,55 <0.5 <0.5 <0.5 <0.5 <0.5 <0.5 <0.5 <0.5 <0.5 <0.5 0,5 <0.5 <0.5 <0.5 <0.5 <0.5 <0.5 <0.5 <0.5 5 perfluor-n-octaanzuur PFOA 1,0 3,0 4,3 <0.5 <0.5 <0.5 <0.5 <0.5 <0.5 <0.5 <0.5 <0.5 <0.5 <0.5 <0.5 <0.5 <0.5 <0.5 <0.5 <0.5 <0.5 <0.5 <0.5 <0.5 <0.5 <0.5 <0.5 <0.5 <0.5 0,98 6 perfluor-n-nonaanzuur PFNA <0.5 <0.5 <0.5 <0.5 <0.5 <0.5 <0.5 <0.5 <0.5 <0.5 <0.5 <0.5 <0.5 <0.5 <0.5 <0.5 <0.5 <0.5 <0.5 <0.5 <0.5 <0.5 <0.5 <0.5 <0.5 <0.5 7 perfluor-n-decaanzuur PFDA <0.5 <0.5 <0.5 <0.5 <0.5 <0.5 <0.5 <0.5 <0.5 <0.5 <0.5 <0.5 <0.5 <0.5 <0.5 <0.5 <0.5 <0.5 <0.5 <0.5 <0.5 <0.5 <0.5 <0.5 <0.5 <0.5 8 perfluor-n-undecaanzuur PFUnDA <0.5 <0.5 <0.5 <0.5 <0.5 <0.5 <0.5 <0.5 <0.5 <0.5 <0.5 <0.5 <0.5 <0.5 <0.5 <0.5 <0.5 <0.5 <0.5 <0.5 <0.5 <0.5 <0.5 <0.5 <0.5 <0.5 9 perfluor-n-dodecaanzuur PFDoDA <0.5 <0.5 <0.5 <0.5 <0.5 <0.5 <0.5 <0.5 <0.5 <0.5 <0.5 <0.5 <0.5 <0.5 <0.5 <0.5 <0.5 <0.5 <0.5 <0.5 <0.5 <0.5 <0.5 <0.5 <0.5 <0.5 10 perfluor-n-tridecaanzuur PFTrDA <0.5 <0.5 <0.5 <0.5 <0.5 <0.5 <0.5 <0.5 <0.5 <0.5 <0.5 <0.5 <0.5 <0.5 <0.5 <0.5 <0.5 <0.5 <0.5 <0.5 <0.5 <0.5 <0.5 <0.5 <0.5 <0.5 11 Perfluor-n-tetradecaanzuur PFTeDA <0.5 <0.5 <0.5 <0.5 <0.5 <0.5 <0.5 <0.5 <0.5 <0.5 <0.5 <0.5 <0.5 <0.5 <0.5 <0.5 <0.5 <0.5 <0.5 <0.5 <0.5 <0.5 <0.5 <0.5 <0.5 <0.5 12 perfluor-n-hexadecaanzuur PFHxDA <0.5 <0.5 <0.5 <0.5 <0.5 <0.5 <0.5 <0.5 <0.5 <0.5 <0.5 <0.5 <0.5 <0.5 <0.5 <0.5 <0.5 <0.5 <0.5 <0.5 <0.5 <0.5 <0.5 <0.5 <0.5 <0.5 13 perfluor-n-butaansulfonzuur PFBS <0.5 <0.5 <0.5 <0.5 <0.5 <0.5 <0.5 <0.5 <0.5 <0.5 <0.5 <0.5 <0.5 <0.5 <0.5 <0.5 <0.5 <0.5 <0.5 <0.5 <0.5 <0.5 <0.5 <0.5 <0.5 <0.5 14 Perfluor-n-pentaansulfonzuur PFPeS <0.5 <0.5 <0.5 <0.5 <0.5 <0.5 <0.5 <0.5 <0.5 <0.5 <0.5 <0.5 <0.5 <0.5 <0.5 <0.5 <0.5 <0.5 <0.5 <0.5 <0.5 <0.5 <0.5 <0.5 <0.5 <0.5 15 perfluor-n-hexaansulfonzuur (lineair) PFHxS (lineair) <0.5 <0.5 <0.5 <0.5 <0.5 <0.5 <0.5 <0.5 <0.5 <0.5 <0.5 <0.5 <0.5 <0.5 <0.5 <0.5 <0.5 <0.5 <0.5 <0.5 <0.5 <0.5 <0.5 <0.5 <0.5 <0.5 16 perfluor-n-heptaansulfonzuur PFHpS <0.5 <0.5 <0.5 <0.5 <0.5 <0.5 <0.5 <0.5 <0.5 <0.5 <0.5 <0.5 <0.5 <0.5 <0.5 <0.5 <0.5 <0.5 <0.5 <0.5 <0.5 <0.5 <0.5 <0.5 <0.5 <0.5 17 perfluor-n-octaansulfonzuur PFOS 1,5 3,0 3,8 0,76 0,56 1,5 1,2 1,7 0,77 1,7 0,96 <0,5 6,6 1 1,8 0,71 3,9 1,4 2,7 0,91 5,9 1,7 2,5 1,1 2,3 1,8 0,77 1,7 1,3 2105,26 18 perfluor-n-nonaansulfonzuur PFNS <0.5 <0.5 <0.5 <0.5 <0.5 <0.5 <0.5 <0.5 <0.5 <0.5 <0.5 <0.5 <0.5 <0.5 <0.5 <0.5 <0.5 <0.5 <0.5 <0.5 <0.5 <0.5 <0.5 <0.5 <0.5 <0.5 19 perfluor-1-decaansulfonzuur PFDS <0.5 <0.5 <0.5 <0.5 <0.5 <0.5 <0.5 <0.5 <0.5 <0.5 <0.5 <0.5 <0.5 <0.5 <0.5 <0.5 <0.5 <0.5 <0.5 <0.5 <0.5 <0.5 <0.5 <0.5 20 perfluor-1-octaansulfonamide (lineair) PFOSA (lineair) <0.5 <0.5 <0.5 <0.5 <0.5 <0.5 <0.5 <0.5 <0.5 <0.5 <0.5 <0.5 <0.5 0,89 <0.5 <0.5 <0.5 <0.5 <0.5 <0.5 <0.5 <0.5 <0.5 <0.5 <0.5 <0.5 21 N-methylperfluoroctaansulfonamide (lineair) MePFOSA (lineair) <0.5 <0.5 <0.5 <0.5 <0.5 <0.5 <0.5 <0.5 <0.5 <0.5 <0.5 <0.5 <0.5 <0.5 <0.5 <0.5 <0.5 <0.5 <0.5 <0.5 <0.5 <0.5 <0.5 <0.5 <0.5 <0.5 22 N-ethylperfluoroctaansulfonamide (lineair) EtPFOSA (lineair) <0.5 <0.5 <0.5 <0.5 <0.5 <0.5 <0.5 <0.5 <0.5 <0.5 <0.5 <0.5 <0.5 0,59 <0.5 <0.5 <0.5 <0.5 <0.5 <0.5 <0.5 <0.5 <0.5 <0.5 <0.5 <0.5 23 N-methylperfluoroctaansulfonamidoazijnzuur MePFOSAA <0.5 <0.5 <0.5 <0.5 <0.5 <0.5 <0.5 <0.5 <0.5 <0.5 <0.5 <0.5 <0.5 0,95 <0.5 <0.5 <0.5 <0.5 <0.5 <0.5 <0.5 <0.5 <0.5 <0.5 <0.5 <0.5 24 N-ethylperfluoroctaansulfonamidoazijnzuur EtPFOSAA <0.5 <0.5 <0.5 <0.5 <0.5 <0.5 <0.5 <0.5 <0.5 <0.5 <0.5 <0.5 <0.5 1,1 <0.5 0,66 <0.5 <0.5 <0.5 <0.5 <0.5 <0.5 <0.5 <0.5 <0.5 <0.5 25 4:2 fluortelomeersulfonzuur 4:2 FTS <0.5 <0.5 <0.5 <0.5 <0.5 <0.5 <0.5 <0.5 <0.5 <0.5 <0.5 <0.5 <0.5 <0.5 <0.5 <0.5 <0.5 <0.5 <0.5 <0.5 <0.5 <0.5 <0.5 <0.5 <0.5 <0.5 26 6:2 fluortelomeersulfonzuur 6:2 FTS <0.5 <0.5 <0.5 <0.5 <0.5 <0.5 <0.5 <0.5 <0.5 <0.5 <0.5 <0.5 <0.5 <0.5 <0.5 <0.5 <0.5 <0.5 <0.5 <0.5 <0.5 <0.5 <0.5 <0.5 <0.5 <0.5 27 8:2 fluortelomeersulfonzuur 8:2 FTS <0.5 <0.5 <0.5 <0.5 <0.5 <0.5 <0.5 <0.5 <0.5 <0.5 <0.5 <0.5 <0.5 <0.5 <0.5 <0.5 <0.5 <0.5 <0.5 <0.5 <0.5 <0.5 <0.5 <0.5 <0.5 <0.5 28 8:2 fluortelomeerfosfaat diester 8:2 diPap <0.5 <0.5 <0.5 <0.5 <0.5 <0.5 <0.5 <0.5 <0.5 <0.5 <0.5 <0.5 <0.5 <0.5 <0.5 <0.5 <0.5 <0.5 <0.5 <0.5 <0.5 <0.5 <0.5 <0.5 <0.5 <0.5 29 hexafluorpropyleenoxidedimeerzuur HFPO-DA <0.5 <0.5 <0.5 <0.5 <0.5 <0.5 <0.5 <0.5 <0.5 <0.5 <0.5 <0.5 <0.5 <0.5 <0.5 <0.5 <0.5 <0.5 <0.5 <0.5 <0.5 <0.5 <0.5 <0.5 <0.5 <0.5 30 4,8-dioxa-3H-perfluornonaanzuur ADONA <0.5 <0.5 <0.5 <0.5 <0.5 <0.5 <0.5 <0.5 <0.5 <0.5 <0.5 <0.5 <0.5 <0.5 <0.5 <0.5 <0.5 <0.5 <0.5 <0.5 <0.5 <0.5 <0.5 <0.5 <0.5 <0.5 31 perfluor-4-ethylcyclohexaansulfonzuur PFECHS <0.5 <0.5 <0.5 <0.5 <0.5 <0.5 <0.5 <0.5 <0.5 <0.5 <0.5 <0.5 <0.5 <0.5 <0.5 <0.5 <0.5 <0.5 <0.5 <0.5 <0.5 <0.5 <0.5 <0.5 <0.5 <0.5 Indicatieve bepaling (9) volgens CMA/3/D (dd 11/2021) 1 perfluor-n-octadecaanzuur PFODA <0.5 <0.5 <0.5 <0.5 <0.5 <0.5 <0.5 <0.5 <0.5 <0.5 <0.5 <0.5 <0.5 <0.5 <0.5 <0.5 <0.5 <0.5 <0.5 <0.5 <0.5 <0.5 <0.5 <0.5 <0.5 <0.5 2 perfluor-1-dodecaansulfonzuur PFDoDS <0.5 <0.5 <0.5 <0.5 <0.5 <0.5 <0.5 <0.5 <0.5 <0.5 <0.5 <0.5 <0.5 <0.5 <0.5 <0.5 <0.5 <0.5 <0.5 <0.5 <0.5 <0.5 <0.5 <0.5 <0.5 <0.5 3 6:2 fluortelomeerfosfaat diester 6:2 diPAP <0.5 <0.5 <0.5 <0.5 <0.5 <0.5 <0.5 <0.5 <0.5 <0.5 <0.5 <0.5 <0.5 <0.5 <0.5 <0.5 <0.5 <0.5 <0.5 <0.5 <0.5 0,59 <0.5 <0.5 <0.5 <0.5 4 6:2/8:2 fluortelomeerfosfaat diester 6:2/8:2 diPAP <0.5 <0.5 <0.5 <0.5 <0.5 <0.5 <0.5 <0.5 <0.5 <0.5 <0.5 <0.5 <0.5 <0.5 <0.5 <0.5 <0.5 <0.5 <0.5 <0.5 <0.5 <0.5 <0.5 <0.5 <0.5 <0.5 5 10:2 fluortelomeersulfonzuur 10:2 FTS <0.5 <0.5 <0.5 <0.5 <0.5 <0.5 <0.5 <0.5 <0.5 <0.5 <0.5 <0.5 <0.5 <0.5 <0.5 <0.5 <0.5 <0.5 <0.5 <0.5 <0.5 <0.5 <0.5 <0.5 <0.5 <0.5 6 perfluor-1-butaansulfonamide PFBSA <0.5 <0.5 <0.5 <0.5 <0.5 <0.5 <0.5 <0.5 <0.5 <0.5 <0.5 <0.5 <0.5 <0.5 <0.5 <0.5 <0.5 <0.5 <0.5 <0.5 <0.5 <0.5 <0.5 <0.5 <0.5 <0.5 7 N-methylperfluorbutaansulfonamide MePFBSA <0.5 <0.5 <0.5 <0.5 <0.5 <0.5 <0.5 <0.5 <0.5 <0.5 <0.5 <0.5 <0.5 <0.5 <0.5 <0.5 <0.5 <0.5 <0.5 <0.5 <0.5 <0.5 <0.5 <0.5 <0.5 <0.5 8 N-methylperfluorbutaansulfonylamide acetaat MePFBSAA <0.5 <0.5 <0.5 <0.5 <0.5 <0.5 <0.5 <0.5 <0.5 <0.5 <0.5 <0.5 <0.5 <0.5 <0.5 <0.5 <0.5 <0.5 <0.5 <0.5 <0.5 <0.5 <0.5 <0.5 <0.5 <0.5 9 perfluor-1-hexaansulfonamide PFHxSA <0.5 <0.5 <0.5 <0.5 <0.5 <0.5 <0.5 <0.5 <0.5 <0.5 <0.5 <0.5 <0.5 <0.5 <0.5 <0.5 <0.5 <0.5 <0.5 <0.5 <0.5 <0.5 <0.5 <0.5 <0.5 <0.5 Som PFAS kwantitatief (31) *** Berekend 8,0 0,76 0,56 3,29 1,20 2,24 0,77 3,88 0,96 0,00 7,86 1,00 1,80 0,71 8,00 1,40 3,36 0,91 8,19 1,70 2,50 1,10 3,55 1,80 1,49 1,70 1,30 Som PFAS indicatief*** berekend 0,00 0,00 0,00 0,00 0,00 0,00 0,00 0,00 0,00 0,00 0,00 0,00 0,00 0,00 0,00 0,00 0,00 0,00 0,00 0,00 0,00 0,59 0,00 0,00 0,00 0,00 Som-PFAS kwantitatief + indicatief Berekend 0,76 0,56 3,29 1,20 2,24 0,77 3,88 0,96 0,00 7,86 1,00 1,80 0,71 8,00 1,40 3,36 0,91 8,19 1,70 2,50 1,10 4,14 1,80 1,49 1,70 1,30 PFAS-som EFSA-4 (PFOS, PFOA, PFNA, PFHxS) Berekend 1,70 2,70 1,50 1,20 1,70 0,77 1,70 0,96 0,00 6,60 1,00 1,80 0,71 3,90 1,40 2,70 0,91 5,90 1,70 2,50 1,10 2,30 1,80 0,77 1,70 1,30 (deel)-Index Som PFAS kwantitatief *** excl PFOS en PFOA Berekend 0,00 0,00 1,79 0,00 0,54 0,00 2,18 0,00 0,00 1,26 0,00 0,00 0,00 4,10 0,00 0,66 0,00 2,29 0,00 0,00 0,00 1,25 0,00 0,72 0,00 0,00 129,57 Som-PFAS kwantitatief + indicatief excl PFOS en PFOA Berekend 0,00 0,00 1,79 0,00 0,54 0,00 2,18 0,00 0,00 1,26 0,00 0,00 0,00 4,10 0,00 0,66 0,00 2,29 0,00 0,00 0,00 1,84 0,00 0,72 0,00 0,00 164,25 CIb voor DAEB 2235,81 CIb voor prioriteiten-index 2270,49 PFAS som (PFCA kwantitatief) 0,00 0,00 1,79 0,00 0,54 0,00 2,18 0,00 0,00 1,26 0,00 0,00 0,00 0,57 0,00 0,00 0,00 2,29 0,00 0,00 0,00 1,25 0,00 0,72 0,00 0,00 PFAS som (PFSA kwantitatief) 0,76 0,56 1,50 1,20 1,70 0,77 1,70 0,96 0,00 6,60 1,00 1,80 0,71 7,43 1,40 3,36 0,91 5,90 1,70 2,50 1,10 2,30 1,80 0,77 1,70 1,30
192X 192X 192X 192X 192X 192X 192X zone 1 PB1 PB5 PB9 PB101 PB104 PB108 PB110 PB113 11/05/23 11/05/23 11/05/23 11/05/23 11/05/23 11/05/23 11/05/23 11/05/23 12-24/05/2023 12-24/05/2023 12-24/05/2023 12-24/05/2023 12-24/05/2023 12-24/05/2023 12-24/05/2023 12-24/05/2023 3.37-4.37 3.94-4.94 4.35-5.35 3.06-4.06 3.08-4.08 3.06-4.06 3.05-4.05 3.05-4.05 1,51 2,53 1,94 2,32 2,55 1,35 1,77 1,66 - - - - - - -Toetsingswaarden normen grondwater (ng/l)* Componenten CasN° / SIKB Eenheid SW RW BSN max. overschrijdingsfactor Kwantitatieve bepaling (40) volgens WAC/IV/A/025 (dd 12/2022) 1 perfluoro-n-butaanzuur PFBA 375-22-4 ng/l 39 38 340 180 12000 48 2000 1200 2 perfluor-n-pentaanzuur PFPeA 2706-90-3 ng/l 110 95 1700 760 65000 170 12000 5800 3 perfluor-n-hexaanzuur PFHxA 307-24-4 ng/l 86 64 1000 400 58000 110 8900 3800 4 perfluor-n-heptaanzuur PFHpA 375-85-9 ng/l 29 27 250 96 7000 53 1800 470 5 perfluor-n-octaanzuur (lineair) PFOA 335-67-1 (Lineair) ng/l 15 42 4 15 9100 6,9 66 20 6 perfluor-1-octaanzuur PFOA 335-67-1 (Lineair + vertakt) ng/l 22 50 4,7 29 11000 15 84 24 7 perfluor-n-nonaanzuur PFNA 375-95-1 ng/l <1 <1 <1 <1 160 1,1 1,4 <1 8 perfluor-n-decaanzuur PFDA 335-76-2 ng/l <1 <1 <1 <1 <1 <1 <1 <1 9 perfluor-n-undecaanzuur PFUnDA 2058-94-8 ng/l <1 <1 <1 <1 <1 <1 <1 <1 10 perfluor-n-dodecaanzuur PFDoDA 307-55-1 ng/l <2 <2 <2 <2 <2 <2 <2 <2 11 Perfluor-n-tetradecaanzuur PFTeDA 376-06-7 ng/l <1 <1 <1 <1 <1 <1 <1 <1 12 Perfluor-n-hexadecaanzuur PFHxDA 67905-19-5 ng/l <2 <2 <2 <2 <2 <2 <2 <2 13 Perfluor-n-butaansulfonzuur PFBS 375-73-5 ng/l 9,5 8,5 3,5 8,6 2700 8,7 23 15 14 Perfluor-n-pentaansulfonzuur PFPeS 2706-91-4 ng/l 12 14 <1 9,5 5100 2,8 11 3,7 15 perfluor-n-hexaansulfonzuur PFHxS 355-46-4 (Lineair) ng/l 140 320 5,8 190 36000 19 49 39 16 perfluor-1-hexaansulfonzuur PFHxS 355-46-4 (Lineair + vertakt) ng/l 150 370 7 220 12000 24 60 45 17 perfluor-n-heptaansulfonzuur PFHpS 375-92-8 ng/l 6,2 7,9 <1 4 4000 1,2 <1 <1 18 perfluor-n-octaansulfonzuur PFOS 1763-23-1 (Lineair) ng/l 44 150 2,1 250 170000 67 18 61 19 perfluor-1-octaansulfonzuur PFOS 1763-23-1 (Lineair + vertakt) ng/l 100 310 5,5 750 630000 200 37 140 20 perfluor-n-nonaansulfonzuur PFNS 68259-12-1 ng/l <2 <2 <2 <2 4,3 <2 <2 <2 21 perfluor-1-decaansulfonzuur PFDS 335-77-3 ng/l <1 <1 <1 <1 <1 <1 <1 <1 22 4:2 fluortelomeersulfonzuur 4:2 FTS 757124-72-4 ng/l <1 <1 <1 <1 11 <1 27 3,6 23 6:2 fluortelomeersulfonzuur 6:2 FTS 27619-97-2 ng/l 2 4,7 95 110 93000 47 4500 1800 24 8:2 fluortelomeersulfonzuur 8:2 FTS 39108-34-4 ng/l <1 <1 <1 <1 <1 <1 <1 <1 25 perfluor-n-octaansulfonamide PFOSA 754-91-6 (Lineair) ng/l <2 <2 <2 <2 9,5 <2 <2 <2 26 perfluor-1-octaansulfonamide PFOSA 754-91-6 (Lineair + vertakt) ng/l <2 <2 <2 <2 14 <2 <2 <2 27 N-methylperfluor-n-octaansulfonamide MePFOSA 31506-32-8 (Lineair) ng/l <1 <1 <1 <1 <1 <1 <1 <1 28 N-methylperfluor-1-octaansulfonamide MePFOSA 31506-32-8 (Lineair + vertakt) ng/l <1 <1 <1 <1 <1 <1 <1 <1 29 N-ethylperfluor-n-octaansulfonamide EtPFOSA 4151-50-2 (Lineair) ng/l <1 <1 <1 <1 <1 <1 <1 <1 30 N-ethylperfluor-1-octaansulfonamide EtPFOSA 4151-50-2 (Lineair + vertakt) ng/l <1 <1 <1 <1 <1 <1 <1 <1 31 N-methylperfluoroctaansulfonamido-azijnzuur MePFOSAA 2355-31-9 ng/l <1 <1 <1 <1 <1 <1 <1 <1 32 N-ethylperfluoroctaansulfonamido-azijnzuur EtPFOSAA 2991-50-6 ng/l <1 <1 <1 <1 <1 <1 <1 <1 33 8:2 fluortelomeerfosfaat diester 8:2 diPAP 678-41-1 ng/l <1 <1 <1 <1 <1 <1 <1 <1 34 hexafluorpropyleenoxidedimeerzuur HFPO-DA 13252-13-6 ng/l <1 <1 <1 1,8 1,1 <1 <1 <1 35 4,8-dioxa-3H-perfluornonaanzuur ADONA 919005-14-4 ng/l <1 <1 <1 <1 <1 <1 <1 <1 36 perfluor-4-ethylcyclohexaansulfonzuur PFECHS 646-83-3 ng/l <1 <1 <1 <1 <1 <1 <1 <1 37 perfluor-n-butaansulfonamide PFBSA 30334-69-1 ng/l 5,9 11 <1 6,2 5400 2,1 2 3,5 38 N-methylperfluor-n-butaansulfonamide MePFBSA 68298-12-4 ng/l <1 <1 <1 <1 69 <1 <1 <1 39 N-methylperfluor-n-butaansulfonylamide azijnzuur MePFBSAA 159381-10-9 ng/l <2 <2 <2 <2 8,3 <2 <2 <2 40 perfluor-n-hexaansulfonamide PFHxSA 41997-13-1 ng/l <1 120 <1 52 53000 25 1,8 9,4 Indicatieve bepaling (8) volgens WAC/IV/A/025 (dd 12/2022) 1 Perfluor-n-tridecaanzuur PFTrDA 72629-94-8 ng/l <1 <1 <1 <1 <1 <1 <1 <1 2 perfluor-n-octadecaanzuur PFODA 16517-11-6 ng/l <1 <1 <1 <1 <1 <1 <1 <1 3 perfluor-1-dodecaansulfonzuur PFDoDS 79780-39-5 ng/l <1 <1 <1 <1 <1 <1 <1 <1 4 perfluor-1-undecaansulfonzuur PFUnDS 749786-16-1 ng/l <2 <2 <2 <2 <2 <2 <2 <2 5 perfluor-1-tridecaansulfonzuur PFTrDS 791563-89-8 ng/l <2 <2 <2 <2 <2 <2 <2 <2 6 6:2 fluortelomeerfosfaat diester 6:2 diPAP 57677-95-9 ng/l <2 <2 <2 <2 <2 <2 <2 <2 7 6:2/8:2 fluortelomeerfosfaat diester 6:2/8:2 diPAP 943913-15-3 ng/l <1 <1 <1 <1 <1 <1 <1 <1 8 10:2 fluortelomeersulfonzuur 10:2 FTS 120226-60-0 ng/l <1 <1 <1 <1 <1 <1 <1 <1 6:2 fluortelomeersulfonzuur afvalwater) 6:2 FTS 27619-97-2 ng/l ng/l Som-PFAS kwantitatief wac 2022 (30) Berekend 566 989 3406 2569 899995 681 29443 13301 Som PFAS indicatief wac 2022 (12) Berekend 6 131 0 58 58477 27 4 13 Som 20 EU DWRL kwantitatief+indicatief Berekend 100 564 984 3311 2457 806964 634 24916 11498 Som-PFAS kwantitatief+indicatief Berekend ng/l (2) 500 570 1100 3400 2600 990000 710 29000 13000 1980,00 ng/l (deel)-Index Som 20 EU DWRL kwantitatief (16 parameters) Berekend ng/l 564 984 3311 2457 806964 634 24916 11498 ² Som-PFAS kwantitief excl som EU DWRL (16) Berekend ng/l 6,3 115,6 89,3 142,9 183035,7 76,2 4083,6 1502,3 366,07 Som-PFAS kwantitatief + indicatief excl som EU DWRL (20) Berekend ng/l 570 1100 3400 2600 990000 710 29000 13000 1980,00 CIgw voor DAEB 366,07 CIgw voor prioriteitenindex 1980,00 PFAS som (PFCA kwantitatief) Berekend ng/l 288 279 3390 1575 246171 444 29312 13098 PFAS som (PFSA kwantitatief) Berekend ng/l 278 710 16 992 653818 237 131 204 Optonele bepaling (3) volgens WAC/IV/A/025 (dd 12/2022) 2 perfluoroctaansulfonamidoazijnzuur PFOSAA 2806-24-8 ng/l 2 6:2 fluortelomeerfosfaat monoester 6:2 PAP 57678-01-0 ng/l 3 8:2 fluortelomeerfosfaat monoester 8:2 PAP 57678-03-2 ng/l ng/l Gebaseerd op 'toetsingswaarden voor PFOS en PFOA in bodem en voor PFAS in grondwater OVAM 04.04.2022’ (1) Toetsing volgens OVAM ‘Toetsingswaarden voor PFOS en PFOA in bodem en PFAS in GW” ** Overgenomen van analysecertificaat of volgens (2) Toetsing volgens OVAM CvGP BBO PFAS analysedatum in periode: 12/2021 tot 15/1/2022 Som-PFAS kwantitatief: 30 parameters WAC 07/2022 en 12/2021 Som PFAS indicatief: 13 parameters WAC 07/2022 en 12/2021 voor 12/2022 Som-PFAS kwantitatief: 12 parameters WAC 01/2015 en 11/2016 Som PFAS indicatief: 6 parameters WAC 01/2015 en 11/2016 ***bovengrens van som van alle PFAS (6000 parameters) in het grondwater volgens EFSA ***European Food Safety Authority - ontwerp (17/9/2020) De rapportage- of bepalingsgrens voor grondwater bedraagt 10 ng/l Legende: vet+onderlijn+italics: > toetsinswaarde bodemsaneringsnorm grijs = deel van EDWR-20 Kadastraal perceel Datum monstername Diepte filter (m-mv) Diepte grondwaterniveau (m-mv) Monsternaam Verdachte zone Analysedatum Zintuiglijke waarneming Totalen volgens WAC/IV/A/025 (dd 12/2022) Berekeningen totalen en indices DAEB en prioriteitenindex Totalen berekend risico-evaluatie EC (µs) pH

COÖRDINATEN STAALNAMEPUNTEN

Beschrijvend bodemonderzoek: 43

Brandweer, Kloosterstraat 26-32, Merelbeke (Gent) 536794-R02(00)

Tabel 8-1: Uitgevoerde boringen en peilbuizen
Boring/peilbuis Datum X-coördinaat (m-Lambert) Y-coördinaat (m-Lambert) Z-coördinaat (m-TAW) PB5 04/05/2017 106 680,04 186 678,41 Ca. 23.5 PB7 18/05/2017 106 791,45 186 705,03 Ca. 23.5 PB9 18/05/2017 106 835,7 186 721,16 Ca. 23.5 SW1 (PB) 12/07/2021 106709,36 186660,96 Ca. 23.5 SW2 (PB) 12/07/2021 106828,07 186699,94 Ca. 23.5 SW3 (B) 12/07/2021 106716,14 186699,56 Ca. 23.5 SW4 (B) 12/07/2021 106 773,1 186 646,91 Ca. 23.5 SW5 (B) 12/07/2021 106842,93 186736,99 Ca. 23.5 PB101 2/05/2023 106693 186759 Ca. 23.5 B102 2/05/2023 106702 186736 Ca. 23.5 B103 2/05/2023 106727 186723 Ca. 23.5 PB104 2/05/2023 106718 186702 Ca. 23.5 B105 2/05/2023 106687 186712 Ca. 23.5 B106 2/05/2023 106685 186627 Ca. 23.5 B107 2/05/2023 106725 186587 Ca. 23.5 PB108 2/05/2023 106772 186620 Ca. 23.5 B109 2/05/2023 106820 186658 Ca. 23.5 PB110 2/05/2023 106860 186699 Ca. 23.5 B111 3/05/2023 106888 186721 Ca. 23.5 B112 3/05/2023 106873 186743 Ca. 23.5 PB113 2/05/2023 106844 186743 Ca. 23.5 B114 2/05/2023 106826 186737 Ca. 23.5 Perceel X-coördinaat (m-Lambert) Y-coördinaat (m-Lambert) Z-coördinaat (m-TAW) 192X 106749 186665 23.5 189S2 106873 186670 23.5 189T2 106854 186656 23.5
Tabel 8-2: Betrokken percelen

Beschrijvend bodemonderzoek: 44

Brandweer, Kloosterstraat 26-32, Merelbeke (Gent)

536794-R02(00)

189V2 106840 186642 24 189M2 106823 186632 24 189G2 106806 186619 24 189A2 106790 186608 24 198Z 106774 186595 24.5 189D2 106 721 186 572 24.5 196A2 106615 186679 23 192V 106 722 186 747 23 191F2 106 731 186 745 23 191E2 106 739 186 743 23 191D2 106 748 186 743 22.5 191C2 106 758 186 747 22.5 191G2 106 780 186 741 22.5 190R 106 797 186 743 22.5 190N 106 805 186 746 22.5 190S 106821 186753 22.5 155A3 106920 186758 22

BOORBESCHRIJVINGEN

Beschrijvend bodemonderzoek: 45

Brandweer, Kloosterstraat 26-32, Merelbeke (Gent)

536794-R02(00)

Boring:B102

Datum: 2-5-2023

Boring:B103

Datum: 2-5-2023

-15

0 1 groenstrook 0 Zandfijn63-200zwaksiltigmatig organisch,,sterkwortelhoudend, donkerbruin,Edelmanboor

50

1 2 3

groenstrook 0 Zandfijn63-200zwaksiltigmatig organischzwakgrindig,donker beigebruin, Edelmanboor -50

Datum: 2-5-2023

-15

Boring:B105 0 1 groenstrook 0 Zandfijn63-200zwaksiltigmatig organisch,,sterkwortelhoudend, donkerbruin,Edelmanboor

Projectcode:536794

Datum: 2-5-2023

-15

Boring:B106 0 1 groenstrook 0 Zandfijn63-200zwaksiltigzwak organischzwakgrindig,donker beigebruin, Edelmanboor

0

Boring:B107

Datum: 2-5-2023

0 1 groenstrook 0

-15

Boring:B109

Datum: 2-5-2023

0 1 groenstrook 0

-15

Zandfijn63-200zwaksiltigmatig organisch,,sterkwortelhoudend, donkerbruin,Edelmanboor

Boring:B114

Datum: 2-5-2023

0 1 tuin 0

-15

Boring:MM115

Datum: 2-5-2023

Zandfijn63-200zwaksiltigmatig organisch,,sterkwortelhoudend, donkerbruin,Geoprobe

Projectcode:536794

0 1

Zandfijn63-200zwaksiltigmatig organisch,,sterkwortelhoudend, donkerbruin,Edelmanboor

tuin 0

Zandfijn63-200zwaksiltigzwak organischzwakgrindig,licht beigebruin, Edelmanboor -30

Datum: 2-5-2023

Boring:MM116 0 1 tuin 0

-10

Boring:MM121

Datum: 2-5-2023

Zandfijn63-200zwaksiltigzwak organischzwakgrindig,licht beigebruin, Edelmanboor

-30

Zandfijn63-200zwaksiltigzwak organischzwakgrindig,,zwak baksteenhoudend, licht beigebruin, Edelmanboor

Datum: 2-5-2023

Boring:MM122 0 1 tuin 0

-10

Zandfijn63-200zwaksiltigzwak organischzwakgrindig,licht beigebruin, Edelmanboor

Projectcode:536794

Datum: 2-5-2023

Boring:MM125 0 1

tuin 0

Zandfijn63-200zwaksiltigzwak organisch, licht beigebruin, Edelmanboor -30

0 1 tuin 0

Datum: 2-5-2023

Boring:MM126 0 1 tuin 0

-10

Zandfijn63-200zwaksiltigzwak organisch, licht beigebruin, Edelmanboor

Datum: 2-5-2023

Boring:MM127 0 1

tuin 0 Zandfijn63-200zwaksiltigzwak organischzwakgrindig,licht beigebruin, Edelmanboor -30

Datum: 2-5-2023

-10

Boring:MM128 0 1 tuin 0 Zandfijn63-200zwaksiltigzwak organischzwakgrindig,licht beigebruin, Edelmanboor

Projectcode:536794

Datum: 2-5-2023

Boring:MM143 0 1

tuin 0 Zandfijn63-200zwaksiltigzwak organischzwakgrindig,,zwak baksteenhoudend, licht beigebruin, Edelmanboor

-30

Boring:MM144

Datum: 2-5-2023

Boring:MM145

Datum: 2-5-2023

Zandfijn63-200zwaksiltigzwak organischzwakgrindig,licht beigebruin, Edelmanboor

Boring:MM146

Zandfijn63-200zwaksiltigzwak organisch, licht beigebruin, Edelmanboor

Boring:PB101

Zandfijn63-200zwaksiltigzwak organisch, licht beigebruin, Edelmanboor -30

Projectcode:536794

-100

Zandfijn63-200sterksiltigmatig organisch, , sporen wortels, neutraalbruin,Geoprobe

Zandfijn63-200sterksiltigzwak kleiïg, licht grijsbruin, Geoprobe

-200

Zandfijn63-200sterksiltigzwak kleiïg,,sporenroest,neutraalbruin, Geoprobe

-300

Zandfijn63-200zwaksiltig,,zwak roesthoudend, neutraalbruin, Geoprobe

-400

0
0
1 tuin
-10
0
1 tuin 0
Datum:
2-5-2023
0 1
tuin 0
-10 GWS:
Datum:
250
2-5-2023
Diameterpeilbuis(mm):
0 50 100 150 200 250 300 350 400 1 2 3 4 5 6 7 8 9
32
groenstrook 0

Boring:PB104

groenstrook 0

-15

Boring:PB108

groenstrook 0

-15

Zandfijn63-200sterksiltigmatig organisch,,sporenwortels,neutraal zwartbruin,Geoprobe

Zandfijn63-200zwaksiltig,,sporen baksteen,sporenstenen,zwak plastichoudend, neutraalbruin, Geoprobe -100

Zandfijn63-200zwaksiltig, donkerbruin,Geoprobe -125

-150

Zandfijn63-200zwaksiltig,licht witbeige, Geoprobe

Zandfijn63-200zwakkleiïgzwak siltig, , sporen roest, licht beigebruin, Geoprobe -250

Zandfijn63-200sterksiltigzwak kleiïg,neutraalbeigebruin,Geoprobe -400

Boring:PB110

groenstrook 0

Zandfijn63-200zwaksiltigsterk organisch,,sterkwortelhoudend, sterksteenhoudend,donkerbruin, Geoprobe -50

Zandfijn63-200zwaksiltig,,sporen wortels,neutraalbruin,Geoprobe -100

Zandfijn63-200sterksiltig,licht grijsbruin, Geoprobe -200

Zandfijn63-200zwakkleiïgzwak siltig,,sporenroest,neutraal grijsbeige, Geoprobe -300

Zandfijn63-200sterksiltigzwak kleiïg,neutraalbruinbeige,Geoprobe -400

Projectcode:536794

Boring:PB113

-100

Zandfijn63-200zwaksiltigsterk organisch, , sporen wortels, donkerbruin,Geoprobe

Zandfijn63-200zwaksiltig,,sterk steenhoudend, neutraal grijsbruin, Geoprobe

Zandfijn63-200zwaksiltig,licht beigebruin, Geoprobe

Zandfijn63-200zwakkleiïgzwak siltig,,sporenroest,neutraal beigebruin, Geoprobe -200

Zandfijn63-200sterksiltigzwak kleiïg,licht,Geoprobe

-100

groenstrook

Zandfijn63-200sterksiltigmatig organisch, , sporen wortels, neutraalbruin, Edelmanboor

Zandfijn63-200sterksiltigzwak kleiïg, licht grijsbruin, Edelmanboor

-200

Zandfijn63-200sterksiltigzwak kleiïg,,sporenroest,neutraalbruin, Edelmanboor -300

Zandfijn63-200sterksiltig,,zwak roesthoudend, neutraalbruin, Edelmanboor

GWS: 250 Datum: 2-5-2023
Diameterpeilbuis(mm): 32 0 50 100 150 200 250 300 350 400 1 2 3 4 5 6 7 8 9 10
GWS: 250 Datum:
2-5-2023
Diameterpeilbuis(mm): 32 0 50 100 150 200 250 300 350 400 1 2 3 4 5 6 7 8 9
-50
-400 GWS: 250 Datum: 2-5-2023
Diameterpeilbuis(mm): 32 0 50 100 150 200 250 300 350 400 1 2 3 4 5 6 7 8 9
GWS: 250 Datum: 2-5-2023
Diameterpeilbuis(mm): 32 0 50 100 150 200 250 300 350 400 1 2 3 4 5 6 7 8 9
0
-400

Boring:B111

Datum: 3-5-2023

0 1 gras 0

-15

Zandfijn63-200zwaksiltigzwak organisch, neutraal beigebruin, Edelmanboor

Datum: 3-5-2023

Boring:B112 0 1 gras 0

-15

Zandfijn63-200zwaksiltigzwak organisch, neutraal beigebruin, Edelmanboor

Datum: 3-5-2023

Boring:MM117 0 1

tuin 0 Zandfijn63-200zwaksiltigzwak organisch, licht beigebruin, Edelmanboor -30

Projectcode:536794

Datum: 3-5-2023

-10

Boring:MM118 0 1 tuin 0 Zandfijn63-200zwaksiltigzwak organisch,,zwakbaksteenhoudend, licht beigebruin, Edelmanboor

Boring:MM123

Datum: 3-5-2023

Boring:MM124

Datum: 3-5-2023

0 1

tuin 0

Zandfijn63-200zwaksiltigzwak organisch,,zwakbaksteenhoudend, licht beigebruin, Edelmanboor -30

0 1 tuin 0

-10

Zandfijn63-200zwaksiltigzwak organisch, licht beigebruin, Edelmanboor

Boring:MM129

Datum: 3-5-2023

Boring:MM130

Datum: 3-5-2023

0 1

gras 0 Zandfijn63-200zwaksiltigzwak organischzwakgrindig,licht beigebruin, Edelmanboor -30

Projectcode:536794

0 1 moestuin 0 Zandfijn63-200zwaksiltigzwak organisch, licht beigebruin, Edelmanboor

-10

Boring:MM131

Datum: 3-5-2023

0 1

tuin 0

-30

Zandfijn63-200zwaksiltigmatig organischzwakgrindig,,matig wortelhoudend, neutraal beigebruin, Edelmanboor

Boring:MM133

Datum: 3-5-2023

0 1

moestuin 0

Zandfijn63-200zwaksiltigzwak organisch, neutraal beigebruin, Edelmanboor -30

Projectcode:536794

Datum: 3-5-2023

Boring:MM132 0 1 tuin 0

-10

Zandfijn63-200zwaksiltigmatig organisch, , matig wortelhoudend, neutraal beigebruin, Edelmanboor

Boring:MM134

Datum: 3-5-2023

0 1 tuin 0

-10

Zandfijn63-200zwaksiltigzwak organisch, neutraal beigebruin, Edelmanboor

Boring:MM137

Datum: 3-5-2023

Boring:MM138

Datum: 3-5-2023

0 1

tuin 0

Zandfijn63-200zwaksiltigzwak organisch, neutraal beigebruin, Edelmanboor -30

0 1 tuin 0

-10

Zandfijn63-200zwaksiltigzwak organisch,,zwakbaksteenhoudend, neutraal beigebruin, Edelmanboor

Boring:MM141

Datum: 3-5-2023

Boring:MM142

Datum: 3-5-2023

0 1

tuin 0 Zandfijn63-200zwaksiltig organischzwakgrindig,neutraal beigebruin, Edelmanboor -30

Projectcode:536794

0 1 tuin 0

-10

Zandfijn63-200zwaksiltig organischzwakgrindig,neutraal beigebruin, Edelmanboor

Code:MM135X:mY:m
Datum:11/05/2023Gestaakt: Opmerking: Opmerking: Diepte:0.3 m Diepte:0.1 m 1 0 0.25 0.5 0.00 m Zand, Neutraal, Bruin, Edelman 1 0 0.25 0.00 m Zand, Neutraal, Bruin, Edelman
Code:MM136X:mY:m
Datum:11/05/2023Gestaakt:
Code:MM139X:mY:m
Datum:11/05/2023Gestaakt: Opmerking: Opmerking: Diepte:0.3 m Diepte:0.1 m 1 0 0.25 0.5 0.00 m Zand, Neutraal, Bruin 1 0 0.25 0.00 m Zand, Neutraal, Bruin, Edelman
Code:MM140X:mY:m
Datum:11/05/2023Gestaakt:

ANALYSEVERSLAGEN

Beschrijvend bodemonderzoek: 46

Brandweer, Kloosterstraat 26-32, Merelbeke (Gent)

536794-R02(00)

RSK BENELUX BVBA

Romy Hofmans

Ontginningstraat 22

B-3530 HOUTHALEN-HELCHTEREN

Uw projectnaam : BBO Brandweer Merelbeke

Uw projectnummer : 536794

SGS rapportnummer : 13862939, versienummer: 1.

Rotterdam, 10-05-2023

Geachte heer/mevrouw,

Hierbij ontvangt u de analyse resultaten van het laboratoriumonderzoek ten behoeve van uw project 536794. Het onderzoek werd uitgevoerd conform uw opdracht. De gerapporteerde resultaten hebben uitsluitend betrekking op de door SGS geteste monsters en zoals door SGS ontvangen zijn. De door u aangegeven omschrijvingen voor de monsters, het project en de monsternamedatum (indien aangeleverd) zijn overgenomen in dit analyserapport. SGS is niet verantwoordelijk voor de gegevens verstrekt door de opdrachtgever.

Het onderzoek is uitgevoerd door SGS Environmental Analytics, gevestigd aan de Steenhouwerstraat 15 in Rotterdam (NL). Indien het onderzoek is uitgevoerd door derden is dit in het rapport aangegeven.

Dit analyserapport bestaat inclusief bijlagen uit 3 pagina's. In geval van een versienummer van '2' of hoger vervallen de voorgaande versies. Alle bijlagen maken onlosmakelijk onderdeel uit van het rapport. Alleen vermenigvuldiging van het hele rapport is toegestaan.

Voor meer informatie, omtrent bijvoorbeeld meetonzekerheid of gebruikte analysemethoden, kunt u contact opnemen met de afdeling Customer Support.

Per 1 september 2022 is SGS Environmental Analytics B.V. gefuseerd met SGS Nederland B.V. en handelt onder de naam SGS Environmental Analytics. Alle erkenningen van SGS Environmental Analytics B.V. blijven van kracht en zijn/worden omgezet naar SGS Nederland B.V.

Wij vertrouwen er op u met deze informatie van dienst te zijn.

Hoogachtend,

Personne Habilitée

SGS Environmental Analytics IS GEACCREDITEERD VOLGENS DE DOOR DE RAAD VOOR ACCREDITATIE GESTELDE CRITERIA VOOR TESTLABORATORIA CONFORM EN ISO/IEC 17025:2017 ONDER NR. L 028. SGS Environmental Analytics – Vestiging van SGS Nederland BV, Malledijk 18 - P.O. Box 200, NL-3200 AE Spijkenisse - Nederland. Al onze werkzaamheden worden uitgevoerd onder de algemene voorwaarden gedeponeerd bij de kamer van koophandel te Rotterdam inschrijving handelsregister 24226722.
Blad 1 van 3 SGS Environmental Analytics is als laboratorium erkend voor het uitvoeren van milieuanalyses op grond en grondwater in Vlaanderen, Brussel en Wallonië. SGS Environmental Analytics Correspondentieadres Polderdijkweg 16 · B-2030 Antwerpen Tel.: +32 (0)3 202 04 30 · Fax: +32 (0)3 202 04 39 www.sgs.com/analytics-be
Analyserapport

De met Q gemerkte analyses zijn geaccrediteerd door de RvA. De met B gemerkte analyses vallen onder het B1 erkenningspakket (Bodem- Vaste deel) van het VLAREL.

BENELUX BVBA BBO Brandweer Merelbeke 536794 13862939 03-05-2023 Romy Hofmans 03-05-2023 10-05-2023 Blad 2 van 3 Projectnaam Projectnummer Rapportnummer Orderdatum Startdatum Rapportagedatum SGS Environmental Analytics IS GEACCREDITEERD VOLGENS DE DOOR DE RAAD VOOR ACCREDITATIE GESTELDE CRITERIA VOOR TESTLABORATORIA CONFORM EN ISO/IEC 17025:2017 ONDER NR. L 028. SGS Environmental Analytics – Vestiging van SGS Nederland BV, Malledijk 18 - P.O. Box 200, NL-3200 AE Spijkenisse - Nederland. Al onze werkzaamheden worden uitgevoerd onder de algemene voorwaarden gedeponeerd bij de kamer van koophandel te Rotterdam inschrijving handelsregister 24226722. Analyserapport Paraaf : 1SGS Environmental Analytics is als laboratorium erkend voor het uitvoeren van milieuanalyses op grond en grondwater in Vlaanderen, Brussel en Wallonië. NummerMonstersoortMonsterspecificatie 001Grond PB104-10 (3.5 - 4 m PB104-10 (3.5 - 4 m) 002Grond PB108-1 (0 - 0.15 m PB108-1 (0 - 0.15 m) 003Grond PB108-9 (3.5 - 4 m) PB108-9 (3.5 - 4 m) 004Grond PB104-3 (0.5 - 1 m) PB104-3 (0.5 - 1 m) Analyse EenheidQ 001 002 003 004 monster voorbehandeling Q Ja Ja droge stof gew.-%Q 80.8 81.0 droge stof gew.-%B 83.0 89.6 gewicht artefacten g B 0.000 30 aard van de artefacten- B geen geen
RSK
organisch materiaal % vd DSB 4.3 4.7 TOC % vd DSB 2.5 2.7 KORRELGROOTTEVERDELING min. delen <2um % vd DSQ 5.7 7.1 kleifractie 0-2 um % vd DSB 5.7 5.4 min. delen <16um % vd DSQ 7.4 8.5 min. delen <32um % vd DSQ 11 13 min. delen <50um % vd DSQ 17 23 min. delen <63um % vd DSQ 26 30 min. delen <125um % vd DSQ 71 69 min. delen <250um % vd DSQ 95 94 min. delen <500um % vd DSQ 96 95 min. delen <1mm % vd DSQ 96 95 min. delen <2mm % vd DSQ 96 95 pH-KCl - B 5.2 7.6 temperatuur t.b.v. pH °CB 19.8 21.4

Analyse Monstersoort

Relatie tot norm

Grond: NEN-EN 16179. Grond (AS3000): AS3000 en NEN-EN 16179 droge stof Grond

monster voorbehandeling Grond

min. delen <2um Grond

min. delen <16um Grond

Grond: NEN-EN 15934. Grond (AS3000): AS3010-2 en NEN-EN

15934

Grond: eigen methode. Grond (AS3000): AS3010-4

Eigen methode

min. delen <32um Grond Idem

min. delen <50um Grond

Eigen methode (zeefmethode)

min. delen <63um Grond Idem

min. delen <125um Grond Idem

min. delen <250um Grond Idem

min. delen <500um Grond Idem

min. delen <1mm Grond Idem

min. delen <2mm Grond Idem

droge stof Grond

aard van de artefacten Grond

organisch materiaal Grond

CMA/2/II/A.1

CMA/5/A.4

CMA/2/II/A.7

TOC Grond Idem

kleifractie 0-2 um Grond

pH-KCl Grond

klei, leem, zand fracties OVAMGrond

MonsterBarcode

CMA/2/II/A.6

CMA/2/II/A.20

CMA/2/II/A.6

Paraaf :

BBO Brandweer Merelbeke 536794 13862939 03-05-2023 Romy Hofmans 03-05-2023 10-05-2023 Blad 3 van 3 Projectnaam Projectnummer Rapportnummer Orderdatum Startdatum Rapportagedatum SGS Environmental Analytics IS GEACCREDITEERD VOLGENS DE DOOR DE RAAD VOOR ACCREDITATIE GESTELDE CRITERIA VOOR TESTLABORATORIA CONFORM EN ISO/IEC 17025:2017 ONDER NR. L 028. SGS Environmental Analytics – Vestiging van SGS Nederland BV, Malledijk 18 - P.O. Box 200, NL-3200 AE Spijkenisse - Nederland. Al onze werkzaamheden worden uitgevoerd onder de algemene voorwaarden gedeponeerd bij de kamer van koophandel te Rotterdam inschrijving handelsregister 24226722.
RSK BENELUX BVBA
Analyserapport
1SGS Environmental Analytics is als laboratorium erkend voor het uitvoeren van milieuanalyses op grond en grondwater in Vlaanderen, Brussel en Wallonië.
AanleveringMonsternameVerpakking 001 C4568030 03-05-202302-05-2023ALU253 002 C4567882 03-05-202302-05-2023ALU253 003 C4567861 03-05-202302-05-2023ALU253 004 C4568068 03-05-202302-05-2023ALU253

RSK BENELUX BVBA

Romy Hofmans

Ontginningstraat 22

B-3530 HOUTHALEN-HELCHTEREN

Uw projectnaam : BBO Brandweer Merelbeke

Uw projectnummer : 536794

SGS rapportnummer : 13863591, versienummer: 1.

Rotterdam, 10-05-2023

Geachte heer/mevrouw, Hierbij ontvangt u de analyse resultaten van het laboratoriumonderzoek ten behoeve van uw project 536794. Het onderzoek werd uitgevoerd conform uw opdracht. De gerapporteerde resultaten hebben uitsluitend betrekking op de door SGS geteste monsters en zoals door SGS ontvangen zijn. De door u aangegeven omschrijvingen voor de monsters, het project en de monsternamedatum (indien aangeleverd) zijn overgenomen in dit analyserapport. SGS is niet verantwoordelijk voor de gegevens verstrekt door de opdrachtgever.

Het onderzoek is uitgevoerd door SGS Environmental Analytics, gevestigd aan de Steenhouwerstraat 15 in Rotterdam (NL). Indien het onderzoek is uitgevoerd door derden is dit in het rapport aangegeven.

Dit analyserapport bestaat inclusief bijlagen uit 9 pagina's. In geval van een versienummer van '2' of hoger vervallen de voorgaande versies. Alle bijlagen maken onlosmakelijk onderdeel uit van het rapport. Alleen vermenigvuldiging van het hele rapport is toegestaan.

Voor meer informatie, omtrent bijvoorbeeld meetonzekerheid of gebruikte analysemethoden, kunt u contact opnemen met de afdeling Customer Support.

Per 1 september 2022 is SGS Environmental Analytics B.V. gefuseerd met SGS Nederland B.V. en handelt onder de naam SGS Environmental Analytics. Alle erkenningen van SGS Environmental Analytics B.V. blijven van kracht en zijn/worden omgezet naar SGS Nederland B.V.

Wij vertrouwen er op u met deze informatie van dienst te zijn.

Hoogachtend,

Personne Habilitée

SGS Environmental Analytics – Vestiging van SGS Nederland BV, Malledijk 18 - P.O. Box 200, NL-3200 AE Spijkenisse - Nederland. Al onze werkzaamheden worden uitgevoerd onder de algemene voorwaarden gedeponeerd bij de kamer van koophandel te Rotterdam inschrijving handelsregister 24226722.
1 van 9 SGS Environmental Analytics is als laboratorium erkend voor het uitvoeren van milieuanalyses op grond en grondwater in Vlaanderen, Brussel en Wallonië. SGS Environmental Analytics Correspondentieadres Polderdijkweg 16 · B-2030 Antwerpen Tel.: +32 (0)3 202 04 30 · Fax: +32 (0)3 202 04 39 www.sgs.com/analytics-be
Analyserapport Blad

De met B gemerkte analyses vallen onder het B1 erkenningspakket (Bodem- Vaste deel) van het VLAREL.

BBO Brandweer Merelbeke 536794 13863591 04-05-2023 Romy Hofmans 04-05-2023 10-05-2023 Blad 2 van 9 Projectnaam Projectnummer Rapportnummer Orderdatum Startdatum Rapportagedatum SGS Environmental Analytics – Vestiging van SGS Nederland BV, Malledijk 18 - P.O. Box 200, NL-3200 AE Spijkenisse - Nederland. Al onze werkzaamheden worden uitgevoerd onder de algemene voorwaarden gedeponeerd bij de kamer van koophandel te Rotterdam inschrijving handelsregister 24226722.
Paraaf : 1SGS Environmental Analytics is als laboratorium erkend voor het uitvoeren van milieuanalyses op grond en grondwater in Vlaanderen, Brussel en Wallonië. NummerMonstersoortMonsterspecificatie 001Grond MM141-1 (0 - 0.3 m) MM141-1 (0 - 0.3 m) 002Grond MM125-1 (0 - 0.3 m) MM125-1 (0 - 0.3 m) 003Grond MM137-1 (0 - 0.3 m) MM137-1 (0 - 0.3 m) 004Grond B111-1 (0 - 0.15 m) B111-1 (0 - 0.15 m) 005Grond MM143-1 (0 - 0.3 m) MM143-1 (0 - 0.3 m) Analyse EenheidQ 001 002 003 004 005 droge stof gew.-%B 91.1 87.3 87.5 87.0 86.6 gewicht artefacten g B 78 60 76 0.000 0.000 aard van de artefacten- Bdiv. materialen div. materialen div. materialen geen geen
RSK BENELUX BVBA
Analyserapport
PER- EN POLYFLUORALKYLSTOFFEN PFBA (perfluorbutaanzuur)µg/kgds <0.5 <0.5 0.57 <0.5 <0.5 PFPeA (perfluorpentaanzuur)µg/kgds 0.72 <0.5 0.68 <0.5 <0.5 PFHxA (perfluorhexaanzuur)µg/kgds <0.5 <0.5 <0.5 <0.5 <0.5 PFHpA (perfluorheptaanzuur) µg/kgds <0.5 <0.5 <0.5 <0.5 <0.5 PFOA lineair (perfluoroctaanzuur) µg/kgds <0.5 <0.5 <0.5 <0.5 <0.5 PFOA vertakt (perfluoroctaanzuur) µg/kgds <0.5 <0.5 <0.5 <0.5 <0.5 Totaal PFOA (perfluoroctaanzuur) µg/kgds <0.5 <0.5 <0.5 <0.5 <0.5 PFNA (perfluornonaanzuur)µg/kgds <0.5 <0.5 <0.5 <0.5 <0.5 PFNS (perfluornonaansulfonzuur) µg/kgds <0.5 <0.5 <0.5 <0.5 <0.5 PFDA (perfluordecaanzuur)µg/kgds <0.5 <0.5 <0.5 <0.5 <0.5 PFUnDA (perfluorundecaanzuur) µg/kgds <0.5 <0.5 <0.5 <0.5 <0.5 PFDoDA (perfluordodecaanzuur) µg/kgds <0.5 <0.5 <0.5 <0.5 <0.5 PFDoDS (perfluordodecaansulfonzuur) µg/kgds <0.5 <0.5 <0.5 <0.5 <0.5 PFTrDA (perfluortridecaanzuur) µg/kgds <0.5 <0.5 <0.5 <0.5 <0.5 PFTeDA (perfluortetradecaanzuur) µg/kgds <0.5 <0.5 <0.5 <0.5 <0.5 PFHxDA (perfluorhexadecaanzuur) µg/kgds <0.5 <0.5 <0.5 <0.5 <0.5 PFODA (perfluoroctadecaanzuur) µg/kgds <0.5 <0.5 <0.5 <0.5 <0.5 PFBS (perfluorbutaansulfonzuur) µg/kgds <0.5 <0.5 <0.5 <0.5 <0.5 PFPeS (perfluorpentaansulfonzuur) µg/kgds <0.5 <0.5 <0.5 <0.5 <0.5 PFHxS lineair (perfluorhexaansulfonzuur) µg/kgds <0.5 <0.5 <0.5 <0.5 <0.5 PFHpS (perfluorheptaansulfonzuur) µg/kgds <0.5 <0.5 <0.5 <0.5 <0.5 PFOS lineair (perfluoroctaansulfonzuur) µg/kgds 0.55 1.4 1.8 0.71 1.4 PFOS vertakt (perfluoroctaansulfonzuur) µg/kgds <0.5 <0.5 <0.5 <0.5 <0.5
BBO Brandweer Merelbeke 536794 13863591 04-05-2023 Romy Hofmans 04-05-2023 10-05-2023 Blad 3 van 9 Projectnaam Projectnummer Rapportnummer Orderdatum Startdatum Rapportagedatum SGS Environmental Analytics – Vestiging van SGS Nederland BV, Malledijk 18 - P.O. Box 200, NL-3200 AE Spijkenisse - Nederland. Al onze werkzaamheden worden uitgevoerd onder de algemene voorwaarden gedeponeerd bij de kamer van koophandel te Rotterdam inschrijving handelsregister 24226722.
Paraaf : 1SGS Environmental Analytics is als laboratorium erkend voor het uitvoeren van milieuanalyses op grond en grondwater in Vlaanderen, Brussel en Wallonië. NummerMonstersoortMonsterspecificatie 001Grond MM141-1 (0 - 0.3 m) MM141-1 (0 - 0.3 m) 002Grond MM125-1 (0 - 0.3 m) MM125-1 (0 - 0.3 m) 003Grond MM137-1 (0 - 0.3 m) MM137-1 (0 - 0.3 m) 004Grond B111-1 (0 - 0.15 m) B111-1 (0 - 0.15 m) 005Grond MM143-1 (0 - 0.3 m) MM143-1 (0 - 0.3 m) Analyse EenheidQ 001 002 003 004 005 Totaal PFOS (perfluoroctaansulfonzuur) µg/kgds 0.77 1.8 2.3 0.76 1.7 PFDS (perfluordecaansulfonzuur) µg/kgds <0.5 <0.5 <0.5 <0.5 <0.5 4:2 FTS (4:2 fluortelomeer sulfonzuur) µg/kgds <0.5 <0.5 <0.5 <0.5 <0.5 6:2 FTS (6:2 fluortelomeer sulfonzuur) µg/kgds <0.5 <0.5 <0.5 <0.5 <0.5 8:2 FTS (8:2 fluortelomeer sulfonzuur) µg/kgds <0.5 <0.5 <0.5 <0.5 <0.5 10:2 FTS (10:2 fluortelomeer sulfonzuur) µg/kgds <0.5 <0.5 <0.5 <0.5 <0.5 MePFOSAA (n-methyl perfluoroctaansulfonamide acetaat) µg/kgds <0.5 <0.5 <0.5 <0.5 <0.5 EtPFOSAA (n-ethyl perfluoroctaansulfonamide acetaat) µg/kgds <0.5 <0.5 <0.5 <0.5 <0.5 PFOSA lineair (perfluoroctaansulfonamide) µg/kgds <0.5 <0.5 <0.5 <0.5 <0.5 MePFOSA lineair (n-methyl perfluoroctaansulfonamide) µg/kgds <0.5 <0.5 <0.5 <0.5 <0.5 8:2 DiPAP (8:2 fluortelomeer fosfaat diester) µg/kgds <0.5 <0.5 <0.5 <0.5 <0.5 HFPO-DA (2,3,3,3tetrafluor-2(heptafluorpropoxy) propaanzuur) µg/kgds <0.5 <0.5 <0.5 <0.5 <0.5 EtPFOSA lineair (n-ethyl perfluoroctaansulfonamide) µg/kgds <0.5 <0.5 <0.5 <0.5 <0.5 MePFBSAA (n-methyl perfluorbutaansulfonamide acetaat) µg/kgds <0.5 <0.5 <0.5 <0.5 <0.5 DONA (4,8-dioxa-3Hperfluornonaanzuur) µg/kgds <0.5 <0.5 <0.5 <0.5 <0.5 MePFBSA (n-methyl perfluorbutaansulfonamide) µg/kgds <0.5 <0.5 <0.5 <0.5 <0.5 PFBSA (perfluorbutaansulfonamide) µg/kgds <0.5 <0.5 <0.5 <0.5 <0.5 PFHxSA (perfluorhexaansulfonamide) µg/kgds <0.5 <0.5 <0.5 <0.5 <0.5 PFECHS (perfluor-4ethylcyclohexaansulfonzuur) µg/kgds <0.5 <0.5 <0.5 <0.5 <0.5 6:2 diPAP ( 6:2 fluortelomeerfosfaatdiester) µg/kgds <0.5 <0.5 0.59 <0.5 <0.5 6:2/8:2 diPAP (6:2/8:2 fluortelomeerfosfaatdiester) µg/kgds <0.5 <0.5 <0.5 <0.5 <0.5
RSK BENELUX BVBA
Analyserapport

De met B gemerkte analyses vallen onder het B1 erkenningspakket (Bodem- Vaste deel) van het VLAREL.

BBO Brandweer Merelbeke 536794 13863591 04-05-2023 Romy Hofmans 04-05-2023 10-05-2023 Blad 4 van 9 Projectnaam Projectnummer Rapportnummer Orderdatum Startdatum Rapportagedatum SGS Environmental Analytics – Vestiging van SGS Nederland BV, Malledijk 18 - P.O. Box 200, NL-3200 AE Spijkenisse - Nederland. Al onze werkzaamheden worden uitgevoerd onder de algemene voorwaarden gedeponeerd bij de kamer van koophandel te Rotterdam inschrijving handelsregister 24226722.
Paraaf : 1SGS Environmental Analytics is als laboratorium erkend voor het uitvoeren van milieuanalyses op grond en grondwater in Vlaanderen, Brussel en Wallonië. NummerMonstersoortMonsterspecificatie 006Grond B112-1 (0 - 0.15 m) B112-1 (0 - 0.15 m) 007Grond MM129-1 (0 - 0.3 m) MM129-1 (0 - 0.3 m) 008Grond MM121-1 (0 - 0.3 m) MM121-1 (0 - 0.3 m) 009Grond MM115-1 (0 - 0.3 m) MM115-1 (0 - 0.3 m) 010Grond MM117-1 (0 - 0.3 m) MM117-1 (0 - 0.3 m) Analyse EenheidQ 006 007 008 009 010 droge stof gew.-%B 88.2 88.6 69.9 91.4 86.3 gewicht artefacten g B 0.000 150 0.000 34 0.000 aard van de artefacten- B geen div. materialen geen div. materialen geen
RSK BENELUX BVBA
Analyserapport
PER- EN POLYFLUORALKYLSTOFFEN PFBA (perfluorbutaanzuur)µg/kgds <0.5 <0.5 <0.5 <0.5 0.63 PFPeA (perfluorpentaanzuur)µg/kgds <0.5 <0.5 <0.5 0.54 1.0 PFHxA (perfluorhexaanzuur)µg/kgds <0.5 <0.5 <0.5 <0.5 <0.5 PFHpA (perfluorheptaanzuur) µg/kgds <0.5 <0.5 <0.5 <0.5 0.55 PFOA lineair (perfluoroctaanzuur) µg/kgds <0.5 <0.5 <0.5 <0.5 <0.5 PFOA vertakt (perfluoroctaanzuur) µg/kgds <0.5 <0.5 <0.5 <0.5 <0.5 Totaal PFOA (perfluoroctaanzuur) µg/kgds <0.5 <0.5 <0.5 <0.5 <0.5 PFNA (perfluornonaanzuur)µg/kgds <0.5 <0.5 <0.5 <0.5 <0.5 PFNS (perfluornonaansulfonzuur) µg/kgds <0.5 <0.5 <0.5 <0.5 <0.5 PFDA (perfluordecaanzuur)µg/kgds <0.5 <0.5 <0.5 <0.5 <0.5 PFUnDA (perfluorundecaanzuur) µg/kgds <0.5 <0.5 <0.5 <0.5 <0.5 PFDoDA (perfluordodecaanzuur) µg/kgds <0.5 <0.5 <0.5 <0.5 <0.5 PFDoDS (perfluordodecaansulfonzuur) µg/kgds <0.5 <0.5 <0.5 <0.5 <0.5 PFTrDA (perfluortridecaanzuur) µg/kgds <0.5 <0.5 <0.5 <0.5 <0.5 PFTeDA (perfluortetradecaanzuur) µg/kgds <0.5 <0.5 <0.5 <0.5 <0.5 PFHxDA (perfluorhexadecaanzuur) µg/kgds <0.5 <0.5 <0.5 <0.5 <0.5 PFODA (perfluoroctadecaanzuur) µg/kgds <0.5 <0.5 <0.5 <0.5 <0.5 PFBS (perfluorbutaansulfonzuur) µg/kgds <0.5 <0.5 <0.5 <0.5 <0.5 PFPeS (perfluorpentaansulfonzuur) µg/kgds <0.5 <0.5 <0.5 <0.5 <0.5 PFHxS lineair (perfluorhexaansulfonzuur) µg/kgds <0.5 <0.5 <0.5 <0.5 <0.5 PFHpS (perfluorheptaansulfonzuur) µg/kgds <0.5 <0.5 <0.5 <0.5 <0.5 PFOS lineair (perfluoroctaansulfonzuur) µg/kgds 0.52 2.5 0.82 1.3 1.4 PFOS vertakt (perfluoroctaansulfonzuur) µg/kgds <0.5 <0.5 <0.5 <0.5 <0.5
BBO Brandweer Merelbeke 536794 13863591 04-05-2023 Romy Hofmans 04-05-2023 10-05-2023 Blad 5 van 9 Projectnaam Projectnummer Rapportnummer Orderdatum Startdatum Rapportagedatum SGS Environmental Analytics – Vestiging van SGS Nederland BV, Malledijk 18 - P.O. Box 200, NL-3200 AE Spijkenisse - Nederland. Al onze werkzaamheden worden uitgevoerd onder de algemene voorwaarden gedeponeerd bij de kamer van koophandel te Rotterdam inschrijving handelsregister 24226722.
Paraaf : 1SGS Environmental Analytics is als laboratorium erkend voor het uitvoeren van milieuanalyses op grond en grondwater in Vlaanderen, Brussel en Wallonië. NummerMonstersoortMonsterspecificatie 006Grond B112-1 (0 - 0.15 m) B112-1 (0 - 0.15 m) 007Grond MM129-1 (0 - 0.3 m) MM129-1 (0 - 0.3 m) 008Grond MM121-1 (0 - 0.3 m) MM121-1 (0 - 0.3 m) 009Grond MM115-1 (0 - 0.3 m) MM115-1 (0 - 0.3 m) 010Grond MM117-1 (0 - 0.3 m) MM117-1 (0 - 0.3 m) Analyse EenheidQ 006 007 008 009 010 Totaal PFOS (perfluoroctaansulfonzuur) µg/kgds 0.56 2.7 0.96 1.7 1.7 PFDS (perfluordecaansulfonzuur) µg/kgds <0.5 <0.5 <0.5 <0.5 <0.5 4:2 FTS (4:2 fluortelomeer sulfonzuur) µg/kgds <0.5 <0.5 <0.5 <0.5 <0.5 6:2 FTS (6:2 fluortelomeer sulfonzuur) µg/kgds <0.5 <0.5 <0.5 <0.5 <0.5 8:2 FTS (8:2 fluortelomeer sulfonzuur) µg/kgds <0.5 <0.5 <0.5 <0.5 <0.5 10:2 FTS (10:2 fluortelomeer sulfonzuur) µg/kgds <0.5 <0.5 <0.5 <0.5 <0.5 MePFOSAA (n-methyl perfluoroctaansulfonamide acetaat) µg/kgds <0.5 <0.5 <0.5 <0.5 <0.5 EtPFOSAA (n-ethyl perfluoroctaansulfonamide acetaat) µg/kgds <0.5 0.66 <0.5 <0.5 <0.5 PFOSA lineair (perfluoroctaansulfonamide) µg/kgds <0.5 <0.5 <0.5 <0.5 <0.5 MePFOSA lineair (n-methyl perfluoroctaansulfonamide) µg/kgds <0.5 <0.5 <0.5 <0.5 <0.5 8:2 DiPAP (8:2 fluortelomeer fosfaat diester) µg/kgds <0.5 <0.5 <0.5 <0.5 <0.5 HFPO-DA (2,3,3,3tetrafluor-2(heptafluorpropoxy) propaanzuur) µg/kgds <0.5 <0.5 <0.5 <0.5 <0.5 EtPFOSA lineair (n-ethyl perfluoroctaansulfonamide) µg/kgds <0.5 <0.5 <0.5 <0.5 <0.5 MePFBSAA (n-methyl perfluorbutaansulfonamide acetaat) µg/kgds <0.5 <0.5 <0.5 <0.5 <0.5 DONA (4,8-dioxa-3Hperfluornonaanzuur) µg/kgds <0.5 <0.5 <0.5 <0.5 <0.5 MePFBSA (n-methyl perfluorbutaansulfonamide) µg/kgds <0.5 <0.5 <0.5 <0.5 <0.5 PFBSA (perfluorbutaansulfonamide) µg/kgds <0.5 <0.5 <0.5 <0.5 <0.5 PFHxSA (perfluorhexaansulfonamide) µg/kgds <0.5 <0.5 <0.5 <0.5 <0.5 PFECHS (perfluor-4ethylcyclohexaansulfonzuur) µg/kgds <0.5 <0.5 <0.5 <0.5 <0.5 6:2 diPAP ( 6:2 fluortelomeerfosfaatdiester) µg/kgds <0.5 <0.5 <0.5 <0.5 <0.5 6:2/8:2 diPAP (6:2/8:2 fluortelomeerfosfaatdiester) µg/kgds <0.5 <0.5 <0.5 <0.5 <0.5
RSK BENELUX BVBA
Analyserapport

De met B gemerkte analyses vallen onder het B1 erkenningspakket (Bodem- Vaste deel) van het VLAREL.

BBO Brandweer Merelbeke 536794 13863591 04-05-2023 Romy Hofmans 04-05-2023 10-05-2023 Blad 6 van 9 Projectnaam Projectnummer Rapportnummer Orderdatum Startdatum Rapportagedatum SGS Environmental Analytics – Vestiging van SGS Nederland BV, Malledijk 18 - P.O. Box 200, NL-3200 AE Spijkenisse - Nederland. Al onze werkzaamheden worden uitgevoerd onder de algemene voorwaarden gedeponeerd bij de kamer van koophandel te Rotterdam inschrijving handelsregister 24226722.
Paraaf : 1SGS Environmental Analytics is als laboratorium erkend voor het uitvoeren van milieuanalyses op grond en grondwater in Vlaanderen, Brussel en Wallonië. NummerMonstersoortMonsterspecificatie 011Grond MM127-1 (0 - 0.3 m) MM127-1 (0 - 0.3 m) 012Grond MM131-1 (0 - 0.3 m) MM131-1 (0 - 0.3 m) 013Grond MM145-1 (0 - 0.3 m) MM145-1 (0 - 0.3 m) 014Grond MM133-1 (0 - 0.3 m) MM133-1 (0 - 0.3 m) 015Grond MM123-1 (0 - 0.3 m) MM123-1 (0 - 0.3 m) Analyse EenheidQ 011 012 013 014 015 droge stof gew.-%B 87.1 87.0 88.9 86.5 88.9 gewicht artefacten g B 86 300 56 58 0.000 aard van de artefacten- B hout div. materialen div. materialen div. materialen geen
RSK BENELUX BVBA
Analyserapport
PER- EN POLYFLUORALKYLSTOFFEN PFBA (perfluorbutaanzuur)µg/kgds <0.5 0.95 <0.5 <0.5 <0.5 PFPeA (perfluorpentaanzuur)µg/kgds 0.57 0.84 <0.5 <0.5 0.75 PFHxA (perfluorhexaanzuur)µg/kgds <0.5 <0.5 <0.5 <0.5 0.51 PFHpA (perfluorheptaanzuur) µg/kgds <0.5 0.50 <0.5 <0.5 <0.5 PFOA lineair (perfluoroctaanzuur) µg/kgds <0.5 <0.5 <0.5 <0.5 <0.5 PFOA vertakt (perfluoroctaanzuur) µg/kgds <0.5 <0.5 <0.5 <0.5 <0.5 Totaal PFOA (perfluoroctaanzuur) µg/kgds <0.5 <0.5 <0.5 <0.5 <0.5 PFNA (perfluornonaanzuur)µg/kgds <0.5 <0.5 <0.5 <0.5 <0.5 PFNS (perfluornonaansulfonzuur) µg/kgds <0.5 <0.5 <0.5 <0.5 <0.5 PFDA (perfluordecaanzuur)µg/kgds <0.5 <0.5 <0.5 <0.5 <0.5 PFUnDA (perfluorundecaanzuur) µg/kgds <0.5 <0.5 <0.5 <0.5 <0.5 PFDoDA (perfluordodecaanzuur) µg/kgds <0.5 <0.5 <0.5 <0.5 <0.5 PFDoDS (perfluordodecaansulfonzuur) µg/kgds <0.5 <0.5 <0.5 <0.5 <0.5 PFTrDA (perfluortridecaanzuur) µg/kgds <0.5 <0.5 <0.5 <0.5 <0.5 PFTeDA (perfluortetradecaanzuur) µg/kgds <0.5 <0.5 <0.5 <0.5 <0.5 PFHxDA (perfluorhexadecaanzuur) µg/kgds <0.5 <0.5 <0.5 <0.5 <0.5 PFODA (perfluoroctadecaanzuur) µg/kgds <0.5 <0.5 <0.5 <0.5 <0.5 PFBS (perfluorbutaansulfonzuur) µg/kgds <0.5 <0.5 <0.5 <0.5 <0.5 PFPeS (perfluorpentaansulfonzuur) µg/kgds <0.5 <0.5 <0.5 <0.5 <0.5 PFHxS lineair (perfluorhexaansulfonzuur) µg/kgds <0.5 <0.5 <0.5 <0.5 <0.5 PFHpS (perfluorheptaansulfonzuur) µg/kgds <0.5 <0.5 <0.5 <0.5 <0.5 PFOS lineair (perfluoroctaansulfonzuur) µg/kgds 3.4 4.9 0.96 2.0 5.6 PFOS vertakt (perfluoroctaansulfonzuur) µg/kgds <0.5 1.0 <0.5 <0.5 0.99
BBO Brandweer Merelbeke 536794 13863591 04-05-2023 Romy Hofmans 04-05-2023 10-05-2023 Blad 7 van 9 Projectnaam Projectnummer Rapportnummer Orderdatum Startdatum Rapportagedatum SGS Environmental Analytics – Vestiging van SGS Nederland BV, Malledijk 18 - P.O. Box 200, NL-3200 AE Spijkenisse - Nederland. Al onze werkzaamheden worden uitgevoerd onder de algemene voorwaarden gedeponeerd bij de kamer van koophandel te Rotterdam inschrijving handelsregister 24226722.
Paraaf : 1SGS Environmental Analytics is als laboratorium erkend voor het uitvoeren van milieuanalyses op grond en grondwater in Vlaanderen, Brussel en Wallonië. NummerMonstersoortMonsterspecificatie 011Grond MM127-1 (0 - 0.3 m) MM127-1 (0 - 0.3 m) 012Grond MM131-1 (0 - 0.3 m) MM131-1 (0 - 0.3 m) 013Grond MM145-1 (0 - 0.3 m) MM145-1 (0 - 0.3 m) 014Grond MM133-1 (0 - 0.3 m) MM133-1 (0 - 0.3 m) 015Grond MM123-1 (0 - 0.3 m) MM123-1 (0 - 0.3 m) Analyse EenheidQ 011 012 013 014 015 Totaal PFOS (perfluoroctaansulfonzuur) µg/kgds 3.9 5.9 1.3 2.5 6.6 PFDS (perfluordecaansulfonzuur) µg/kgds <0.5 <0.5 <0.5 <0.5 <0.5 4:2 FTS (4:2 fluortelomeer sulfonzuur) µg/kgds <0.5 <0.5 <0.5 <0.5 <0.5 6:2 FTS (6:2 fluortelomeer sulfonzuur) µg/kgds <0.5 <0.5 <0.5 <0.5 <0.5 8:2 FTS (8:2 fluortelomeer sulfonzuur) µg/kgds <0.5 <0.5 <0.5 <0.5 <0.5 10:2 FTS (10:2 fluortelomeer sulfonzuur) µg/kgds <0.5 <0.5 <0.5 <0.5 <0.5 MePFOSAA (n-methyl perfluoroctaansulfonamide acetaat) µg/kgds 0.95 <0.5 <0.5 <0.5 <0.5 EtPFOSAA (n-ethyl perfluoroctaansulfonamide acetaat) µg/kgds 1.1 <0.5 <0.5 <0.5 <0.5 PFOSA lineair (perfluoroctaansulfonamide) µg/kgds 0.89 <0.5 <0.5 <0.5 <0.5 MePFOSA lineair (n-methyl perfluoroctaansulfonamide) µg/kgds <0.5 <0.5 <0.5 <0.5 <0.5 8:2 DiPAP (8:2 fluortelomeer fosfaat diester) µg/kgds <0.5 <0.5 <0.5 <0.5 <0.5 HFPO-DA (2,3,3,3tetrafluor-2(heptafluorpropoxy) propaanzuur) µg/kgds <0.5 <0.5 <0.5 <0.5 <0.5 EtPFOSA lineair (n-ethyl perfluoroctaansulfonamide) µg/kgds 0.59 <0.5 <0.5 <0.5 <0.5 MePFBSAA (n-methyl perfluorbutaansulfonamide acetaat) µg/kgds <0.5 <0.5 <0.5 <0.5 <0.5 DONA (4,8-dioxa-3Hperfluornonaanzuur) µg/kgds <0.5 <0.5 <0.5 <0.5 <0.5 MePFBSA (n-methyl perfluorbutaansulfonamide) µg/kgds <0.5 <0.5 <0.5 <0.5 <0.5 PFBSA (perfluorbutaansulfonamide) µg/kgds <0.5 <0.5 <0.5 <0.5 <0.5 PFHxSA (perfluorhexaansulfonamide) µg/kgds <0.5 <0.5 <0.5 <0.5 <0.5 PFECHS (perfluor-4ethylcyclohexaansulfonzuur) µg/kgds <0.5 <0.5 <0.5 <0.5 <0.5 6:2 diPAP ( 6:2 fluortelomeerfosfaatdiester) µg/kgds <0.5 <0.5 <0.5 <0.5 <0.5 6:2/8:2 diPAP (6:2/8:2 fluortelomeerfosfaatdiester) µg/kgds <0.5 <0.5 <0.5 <0.5 <0.5
RSK BENELUX BVBA
Analyserapport

droge stof

aard van de artefacten

PFBA (perfluorbutaanzuur) Grond

PFPeA (perfluorpentaanzuur)Grond

PFHxA (perfluorhexaanzuur)Grond

PFHpA (perfluorheptaanzuur)Grond

PFOA lineair (perfluoroctaanzuur)Grond

PFOA vertakt (perfluoroctaanzuur) Grond

Totaal PFOA (perfluoroctaanzuur)Grond

PFNA (perfluornonaanzuur) Grond Idem

PFNS (perfluornonaansulfonzuur)Grond Idem

PFDA (perfluordecaanzuur) Grond

PFUnDA (perfluorundecaanzuur)Grond

PFDoDA (perfluordodecaanzuur)Grond

PFDoDS (perfluordodecaansulfonzuur)

PFTrDA (perfluortridecaanzuur)Grond

PFTeDA (perfluortetradecaanzuur)

PFHxDA (perfluorhexadecaanzuur)

PFODA (perfluoroctadecaanzuur)Grond

PFBS (perfluorbutaansulfonzuur)Grond

PFPeS (perfluorpentaansulfonzuur)

PFHxS lineair (perfluorhexaansulfonzuur)

PFHpS (perfluorheptaansulfonzuur)

PFOS lineair (perfluoroctaansulfonzuur)

PFOS vertakt (perfluoroctaansulfonzuur)

Totaal PFOS (perfluoroctaansulfonzuur)

PFDS (perfluordecaansulfonzuur)Grond

4:2 FTS (4:2 fluortelomeer sulfonzuur)

6:2 FTS (6:2 fluortelomeer sulfonzuur)

8:2 FTS (8:2 fluortelomeer sulfonzuur)

10:2 FTS (10:2 fluortelomeer sulfonzuur)

MePFOSAA (n-methyl perfluoroctaansulfonamide acetaat)

EtPFOSAA (n-ethyl perfluoroctaansulfonamide acetaat)

PFOSA lineair (perfluoroctaansulfonamide)

BBO Brandweer Merelbeke 536794 13863591 04-05-2023 Romy Hofmans 04-05-2023 10-05-2023 Blad 8 van 9 Projectnaam Projectnummer Rapportnummer Orderdatum Startdatum Rapportagedatum SGS Environmental Analytics – Vestiging van SGS Nederland BV, Malledijk 18 - P.O. Box 200, NL-3200 AE Spijkenisse - Nederland. Al onze werkzaamheden worden uitgevoerd onder de algemene voorwaarden gedeponeerd bij de kamer van koophandel te Rotterdam inschrijving handelsregister 24226722.
RSK BENELUX BVBA
Analyserapport
1SGS Environmental Analytics is als laboratorium erkend voor het uitvoeren van milieuanalyses op grond en grondwater in Vlaanderen, Brussel en Wallonië.
Paraaf :
Relatie tot norm
Grond CMA/2/II/A.1
CMA/5/A.4
Analyse Monstersoort
Grond
Conform CMA/3/D
Idem
Idem
Idem
Idem
Idem
Idem
Idem
Idem
Idem
Grond Idem
Idem
Idem
Grond
Grond Idem
Idem
Idem
Grond Idem
Grond Idem
Grond Idem
Grond Idem
Grond Idem
Grond Idem
Idem
Grond Idem
Grond Idem
Grond Idem
Grond Idem
Grond Idem
Grond Idem
Grond Idem

MePFOSA lineair (n-methyl perfluoroctaansulfonamide)

8:2 DiPAP (8:2 fluortelomeer fosfaat diester)

HFPO-DA (2,3,3,3-tetrafluor-2(heptafluorpropoxy) propaanzuur)

EtPFOSA lineair (n-ethyl perfluoroctaansulfonamide)

MePFBSAA (n-methyl perfluorbutaansulfonamide acetaat)

DONA (4,8-dioxa-3Hperfluornonaanzuur)

MePFBSA (n-methyl perfluorbutaansulfonamide)

PFBSA (perfluorbutaansulfonamide)

PFHxSA (perfluorhexaansulfonamide) Grond

PFECHS (perfluor-4ethylcyclohexaansulfonzuur)

6:2 diPAP ( 6:2 fluortelomeerfosfaatdiester)

6:2/8:2 diPAP (6:2/8:2 fluortelomeerfosfaatdiester)

BBO Brandweer Merelbeke 536794 13863591 04-05-2023 Romy Hofmans 04-05-2023 10-05-2023 Blad 9 van 9 Projectnaam Projectnummer Rapportnummer Orderdatum Startdatum Rapportagedatum SGS Environmental Analytics – Vestiging van SGS Nederland BV, Malledijk 18 - P.O. Box 200, NL-3200 AE Spijkenisse - Nederland. Al onze werkzaamheden worden uitgevoerd onder de algemene voorwaarden gedeponeerd bij de kamer van koophandel te Rotterdam inschrijving handelsregister 24226722.
RSK BENELUX BVBA
Analyserapport
1SGS Environmental Analytics is als laboratorium erkend voor het uitvoeren van milieuanalyses op grond en grondwater in Vlaanderen, Brussel en Wallonië.
Monstersoort Relatie tot norm
Paraaf :
Analyse
Grond Idem
Grond Idem
Grond Idem
Grond Idem
Grond Idem
Grond Idem
Grond Idem
Grond Idem
Idem
Idem
Grond
Grond Idem
Idem MonsterBarcode AanleveringMonsternameVerpakking 001 E9040035 04-05-202303-05-2023ALC291 002 E9040036 04-05-202302-05-2023ALC291 003 E9040033 04-05-202303-05-2023ALC291 004 C4568246 04-05-202303-05-2023ALU253 005 E9044023 04-05-202302-05-2023ALC291 006 C4568240 04-05-202303-05-2023ALU253 007 E9040034 04-05-202303-05-2023ALC291 008 E9040040 04-05-202302-05-2023ALC291 009 E9044021 04-05-202302-05-2023ALC291 010 E9040043 04-05-202303-05-2023ALC291 011 E9044022 04-05-202302-05-2023ALC291 012 E9040039 04-05-202303-05-2023ALC291 013 E9040042 04-05-202302-05-2023ALC291 014 E9040038 04-05-202303-05-2023ALC291 015 E9040037 04-05-202303-05-2023ALC291
Grond

RSK BENELUX BVBA

Romy Hofmans

Ontginningstraat 22

B-3530 HOUTHALEN-HELCHTEREN

Uw projectnaam : BBO Brandweer Merelbeke

Uw projectnummer : 536794

SGS rapportnummer : 13862525, versienummer: 1.

Rotterdam, 12-05-2023

Geachte heer/mevrouw, Hierbij ontvangt u de analyse resultaten van het laboratoriumonderzoek ten behoeve van uw project 536794. Het onderzoek werd uitgevoerd conform uw opdracht. De gerapporteerde resultaten hebben uitsluitend betrekking op de door SGS geteste monsters en zoals door SGS ontvangen zijn. De door u aangegeven omschrijvingen voor de monsters, het project en de monsternamedatum (indien aangeleverd) zijn overgenomen in dit analyserapport. SGS is niet verantwoordelijk voor de gegevens verstrekt door de opdrachtgever.

Het onderzoek is uitgevoerd door SGS Environmental Analytics, gevestigd aan de Steenhouwerstraat 15 in Rotterdam (NL). Indien het onderzoek is uitgevoerd door derden is dit in het rapport aangegeven.

Dit analyserapport bestaat inclusief bijlagen uit 10 pagina's. In geval van een versienummer van '2' of hoger vervallen de voorgaande versies. Alle bijlagen maken onlosmakelijk onderdeel uit van het rapport. Alleen vermenigvuldiging van het hele rapport is toegestaan.

Voor meer informatie, omtrent bijvoorbeeld meetonzekerheid of gebruikte analysemethoden, kunt u contact opnemen met de afdeling Customer Support.

Per 1 september 2022 is SGS Environmental Analytics B.V. gefuseerd met SGS Nederland B.V. en handelt onder de naam SGS Environmental Analytics. Alle erkenningen van SGS Environmental Analytics B.V. blijven van kracht en zijn/worden omgezet naar SGS Nederland B.V.

Wij vertrouwen er op u met deze informatie van dienst te zijn.

Hoogachtend,

Personne Habilitée

SGS Environmental Analytics – Vestiging van SGS Nederland BV, Malledijk 18 - P.O. Box 200, NL-3200 AE Spijkenisse - Nederland. Al onze werkzaamheden worden uitgevoerd onder de algemene voorwaarden gedeponeerd bij de kamer van koophandel te Rotterdam inschrijving handelsregister 24226722.
Blad 1 van 10 SGS Environmental Analytics is als laboratorium erkend voor het uitvoeren van milieuanalyses op grond en grondwater in Vlaanderen, Brussel en Wallonië. SGS Environmental Analytics Correspondentieadres Polderdijkweg 16 · B-2030 Antwerpen Tel.: +32 (0)3 202 04 30 · Fax: +32 (0)3 202 04 39 www.sgs.com/analytics-be
Analyserapport

De met B gemerkte analyses vallen onder het B1 erkenningspakket (Bodem- Vaste deel) van het VLAREL.

BBO Brandweer Merelbeke 536794 13862525 03-05-2023 Romy Hofmans 03-05-2023 12-05-2023 Blad 2 van 10 Projectnaam Projectnummer Rapportnummer Orderdatum Startdatum Rapportagedatum SGS Environmental Analytics – Vestiging van SGS Nederland BV, Malledijk 18 - P.O. Box 200, NL-3200 AE Spijkenisse - Nederland. Al onze werkzaamheden worden uitgevoerd onder de algemene voorwaarden gedeponeerd bij de kamer van koophandel te Rotterdam inschrijving handelsregister 24226722.
Paraaf : 1SGS Environmental Analytics is als laboratorium erkend voor het uitvoeren van milieuanalyses op grond en grondwater in Vlaanderen, Brussel en Wallonië. NummerMonstersoortMonsterspecificatie 001Grond PB110-1 (0 - 0.15 m PB110-1 (0 - 0.15 m) 002Grond B109-1 (0 - 0.15 m) B109-1 (0 - 0.15 m) 003Grond 114-1 (0 - 0.15 m) PB114-1 (0 - 0.15 m) 004Grond B106-1 (0 - 0.15 m) B106-1 (0 - 0.15 m) 005Grond B103-1 (0 - 0.15 m) B103-1 (0 - 0.15 m) Analyse EenheidQ 001 002 003 004 005 droge stof gew.-%B 86.7 84.9 90.8 89.5 91.8 gewicht artefacten g B 140 32 0.000 0.000 100 aard van de artefacten- Bdiv. materialen div. materialen geen geen div. materialen
RSK BENELUX BVBA
Analyserapport
PER- EN POLYFLUORALKYLSTOFFEN PFBA (perfluorbutaanzuur)µg/kgds 1.2 0.94 <0.5 <0.5 <0.5 PFPeA (perfluorpentaanzuur)µg/kgds 2.5 3.2 <0.5 <0.5 <0.5 PFHxA (perfluorhexaanzuur)µg/kgds 1.3 0.83 <0.5 <0.5 <0.5 PFHpA (perfluorheptaanzuur) µg/kgds 0.58 0.67 <0.5 <0.5 <0.5 PFOA lineair (perfluoroctaanzuur) µg/kgds <0.5 <0.5 <0.5 <0.5 <0.5 PFOA vertakt (perfluoroctaanzuur) µg/kgds <0.5 <0.5 <0.5 <0.5 <0.5 Totaal PFOA (perfluoroctaanzuur) µg/kgds <0.5 <0.5 <0.5 <0.5 <0.5 PFNA (perfluornonaanzuur)µg/kgds 0.67 <0.5 <0.5 <0.5 <0.5 PFNS (perfluornonaansulfonzuur) µg/kgds <0.5 <0.5 <0.5 <0.5 <0.5 PFDA (perfluordecaanzuur)µg/kgds 0.82 <0.5 <0.5 <0.5 <0.5 PFUnDA (perfluorundecaanzuur) µg/kgds <0.5 <0.5 <0.5 <0.5 <0.5 PFDoDA (perfluordodecaanzuur) µg/kgds <0.5 <0.5 <0.5 <0.5 <0.5 PFDoDS (perfluordodecaansulfonzuur) µg/kgds <0.5 <0.5 <0.5 <0.5 <0.5 PFTrDA (perfluortridecaanzuur) µg/kgds <0.5 <0.5 <0.5 <0.5 <0.5 PFTeDA (perfluortetradecaanzuur) µg/kgds <0.5 <0.5 <0.5 <0.5 <0.5 PFHxDA (perfluorhexadecaanzuur) µg/kgds <0.5 <0.5 <0.5 <0.5 <0.5 PFODA (perfluoroctadecaanzuur) µg/kgds <0.5 <0.5 <0.5 <0.5 <0.5 PFBS (perfluorbutaansulfonzuur) µg/kgds <0.5 <0.5 <0.5 <0.5 <0.5 PFPeS (perfluorpentaansulfonzuur) µg/kgds <0.5 <0.5 <0.5 <0.5 <0.5 PFHxS lineair (perfluorhexaansulfonzuur) µg/kgds <0.5 <0.5 <0.5 <0.5 <0.5 PFHpS (perfluorheptaansulfonzuur) µg/kgds <0.5 <0.5 <0.5 <0.5 <0.5 PFOS lineair (perfluoroctaansulfonzuur) µg/kgds 7.9 17 0.89 0.80 1.5 PFOS vertakt (perfluoroctaansulfonzuur) µg/kgds 0.82 1.1 <0.5 <0.5 <0.5
BBO Brandweer Merelbeke 536794 13862525 03-05-2023 Romy Hofmans 03-05-2023 12-05-2023 Blad 3 van 10 Projectnaam Projectnummer Rapportnummer Orderdatum Startdatum Rapportagedatum SGS Environmental Analytics – Vestiging van SGS Nederland BV, Malledijk 18 - P.O. Box 200, NL-3200 AE Spijkenisse - Nederland. Al onze werkzaamheden worden uitgevoerd onder de algemene voorwaarden gedeponeerd bij de kamer van koophandel te Rotterdam inschrijving handelsregister 24226722.
Paraaf : 1SGS Environmental Analytics is als laboratorium erkend voor het uitvoeren van milieuanalyses op grond en grondwater in Vlaanderen, Brussel en Wallonië. NummerMonstersoortMonsterspecificatie 001Grond PB110-1 (0 - 0.15 m PB110-1 (0 - 0.15 m) 002Grond B109-1 (0 - 0.15 m) B109-1 (0 - 0.15 m) 003Grond 114-1 (0 - 0.15 m) PB114-1 (0 - 0.15 m) 004Grond B106-1 (0 - 0.15 m) B106-1 (0 - 0.15 m) 005Grond B103-1 (0 - 0.15 m) B103-1 (0 - 0.15 m) Analyse EenheidQ 001 002 003 004 005 Totaal PFOS (perfluoroctaansulfonzuur) µg/kgds 8.6 18 1.2 0.86 1.9 PFDS (perfluordecaansulfonzuur) µg/kgds <0.5 <0.5 <0.5 <0.5 <0.5 4:2 FTS (4:2 fluortelomeer sulfonzuur) µg/kgds <0.5 <0.5 <0.5 <0.5 <0.5 6:2 FTS (6:2 fluortelomeer sulfonzuur) µg/kgds 12 0.77 <0.5 <0.5 <0.5 8:2 FTS (8:2 fluortelomeer sulfonzuur) µg/kgds <0.5 <0.5 <0.5 <0.5 <0.5 10:2 FTS (10:2 fluortelomeer sulfonzuur) µg/kgds <0.5 <0.5 <0.5 <0.5 <0.5 MePFOSAA (n-methyl perfluoroctaansulfonamide acetaat) µg/kgds <0.5 <0.5 <0.5 <0.5 <0.5 EtPFOSAA (n-ethyl perfluoroctaansulfonamide acetaat) µg/kgds <0.5 <0.5 <0.5 <0.5 <0.5 PFOSA lineair (perfluoroctaansulfonamide) µg/kgds <0.5 <0.5 <0.5 <0.5 <0.5 MePFOSA lineair (n-methyl perfluoroctaansulfonamide) µg/kgds <0.5 <0.5 <0.5 <0.5 <0.5 8:2 DiPAP (8:2 fluortelomeer fosfaat diester) µg/kgds <0.5 <0.5 <0.5 <0.5 <0.5 HFPO-DA (2,3,3,3tetrafluor-2(heptafluorpropoxy) propaanzuur) µg/kgds <0.5 <0.5 <0.5 <0.5 <0.5 EtPFOSA lineair (n-ethyl perfluoroctaansulfonamide) µg/kgds <0.5 <0.5 <0.5 <0.5 <0.5 MePFBSAA (n-methyl perfluorbutaansulfonamide acetaat) µg/kgds <0.5 <0.5 <0.5 <0.5 <0.5 DONA (4,8-dioxa-3Hperfluornonaanzuur) µg/kgds <0.5 <0.5 <0.5 <0.5 <0.5 MePFBSA (n-methyl perfluorbutaansulfonamide) µg/kgds <0.5 <0.5 <0.5 <0.5 <0.5 PFBSA (perfluorbutaansulfonamide) µg/kgds <0.5 <0.5 <0.5 <0.5 <0.5 PFHxSA (perfluorhexaansulfonamide) µg/kgds <0.5 0.55 <0.5 <0.5 <0.5 PFECHS (perfluor-4ethylcyclohexaansulfonzuur) µg/kgds <0.5 <0.5 <0.5 <0.5 <0.5 6:2 diPAP ( 6:2 fluortelomeerfosfaatdiester) µg/kgds <0.5 <0.5 <0.5 <0.5 <0.5 6:2/8:2 diPAP (6:2/8:2 fluortelomeerfosfaatdiester) µg/kgds <0.5 <0.5 <0.5 <0.5 <0.5
RSK
BENELUX BVBA
Analyserapport

De met B gemerkte analyses vallen onder het B1 erkenningspakket (Bodem- Vaste deel) van het VLAREL.

BBO Brandweer Merelbeke 536794 13862525 03-05-2023 Romy Hofmans 03-05-2023 12-05-2023 Blad 4 van 10 Projectnaam Projectnummer Rapportnummer Orderdatum Startdatum Rapportagedatum SGS Environmental Analytics – Vestiging van SGS Nederland BV, Malledijk 18 - P.O. Box 200, NL-3200 AE Spijkenisse - Nederland. Al onze werkzaamheden worden uitgevoerd onder de algemene voorwaarden gedeponeerd bij de kamer van koophandel te Rotterdam inschrijving handelsregister 24226722.
Paraaf : 1SGS Environmental Analytics is als laboratorium erkend voor het uitvoeren van milieuanalyses op grond en grondwater in Vlaanderen, Brussel en Wallonië. NummerMonstersoortMonsterspecificatie 006Grond B107-1 (0 - 0.15 m) B107-1 (0 - 0.15 m) 007Grond B105-1 (0 - 0.15 m) B105-1 (0 - 0.15 m) 008Grond PB104-3 (0.5 - 1 m) PB104-3 (0.5 - 1 m) 009Grond PB101-1 (0 - 0.15 m PB101-1 (0 - 0.15 m) 010Grond PB113-1 (0 - 0.15 m PB113-1 (0 - 0.15 m) Analyse EenheidQ 006 007 008 009 010 droge stof gew.-%B 80.7 81.4 89.8 89.5 91.4 gewicht artefacten g B 42 38 0.000 25 0.000 aard van de artefacten- Bdiv. materialen div. materialen geen div. materialen geen
RSK
BENELUX BVBA
Analyserapport
PER- EN POLYFLUORALKYLSTOFFEN PFBA (perfluorbutaanzuur)µg/kgds 0.68 <0.5 <0.5 <0.5 0.69 PFPeA (perfluorpentaanzuur)µg/kgds 1.1 <0.5 1.4 <0.5 1.1 PFHxA (perfluorhexaanzuur)µg/kgds <0.5 <0.5 1.8 <0.5 <0.5 PFHpA (perfluorheptaanzuur) µg/kgds <0.5 <0.5 <0.5 <0.5 <0.5 PFOA lineair (perfluoroctaanzuur) µg/kgds <0.5 <0.5 3.9 <0.5 <0.5 PFOA vertakt (perfluoroctaanzuur) µg/kgds <0.5 <0.5 <0.5 <0.5 <0.5 Totaal PFOA (perfluoroctaanzuur) µg/kgds <0.5 <0.5 4.2 <0.5 <0.5 PFNA (perfluornonaanzuur)µg/kgds <0.5 <0.5 <0.5 <0.5 <0.5 PFNS (perfluornonaansulfonzuur) µg/kgds <0.5 <0.5 3.5 <0.5 <0.5 PFDA (perfluordecaanzuur)µg/kgds <0.5 <0.5 <0.5 <0.5 <0.5 PFUnDA (perfluorundecaanzuur) µg/kgds <0.5 <0.5 <0.5 <0.5 <0.5 PFDoDA (perfluordodecaanzuur) µg/kgds <0.5 <0.5 <0.5 <0.5 <0.5 PFDoDS (perfluordodecaansulfonzuur) µg/kgds <0.5 <0.5 <0.56 1) <0.5 <0.5 PFTrDA (perfluortridecaanzuur) µg/kgds <0.5 <0.5 <0.5 <0.5 <0.5 PFTeDA (perfluortetradecaanzuur) µg/kgds <0.5 <0.5 <0.5 <0.5 <0.5 PFHxDA (perfluorhexadecaanzuur) µg/kgds <0.5 <0.5 <0.5 <0.5 <0.5 PFODA (perfluoroctadecaanzuur) µg/kgds <0.5 <0.5 <0.5 <0.5 <0.5 PFBS (perfluorbutaansulfonzuur) µg/kgds <0.5 <0.5 <0.5 <0.5 <0.5 PFPeS (perfluorpentaansulfonzuur) µg/kgds <0.5 <0.5 <0.5 <0.5 <0.5 PFHxS lineair (perfluorhexaansulfonzuur) µg/kgds 0.53 <0.5 13 <0.5 <0.5 PFHpS (perfluorheptaansulfonzuur) µg/kgds <0.5 <0.5 1.7 <0.5 <0.5 PFOS lineair (perfluoroctaansulfonzuur) µg/kgds 18 <0.5 7900 2.7 1.1 PFOS vertakt (perfluoroctaansulfonzuur) µg/kgds 0.99 <0.5 140 <0.5 <0.5
BBO Brandweer Merelbeke 536794 13862525 03-05-2023 Romy Hofmans 03-05-2023 12-05-2023 Blad 5 van 10 Projectnaam Projectnummer Rapportnummer Orderdatum Startdatum Rapportagedatum SGS Environmental Analytics – Vestiging van SGS Nederland BV, Malledijk 18 - P.O. Box 200, NL-3200 AE Spijkenisse - Nederland. Al onze werkzaamheden worden uitgevoerd onder de algemene voorwaarden gedeponeerd bij de kamer van koophandel te Rotterdam inschrijving handelsregister 24226722.
Paraaf : 1SGS Environmental Analytics is als laboratorium erkend voor het uitvoeren van milieuanalyses op grond en grondwater in Vlaanderen, Brussel en Wallonië. NummerMonstersoortMonsterspecificatie 006Grond B107-1 (0 - 0.15 m) B107-1 (0 - 0.15 m) 007Grond B105-1 (0 - 0.15 m) B105-1 (0 - 0.15 m) 008Grond PB104-3 (0.5 - 1 m) PB104-3 (0.5 - 1 m) 009Grond PB101-1 (0 - 0.15 m PB101-1 (0 - 0.15 m) 010Grond PB113-1 (0 - 0.15 m PB113-1 (0 - 0.15 m) Analyse EenheidQ 006 007 008 009 010 Totaal PFOS (perfluoroctaansulfonzuur) µg/kgds 19 0.56 8000 2.9 1.5 PFDS (perfluordecaansulfonzuur) µg/kgds <0.5 <0.5 0.99 <0.5 <0.5 4:2 FTS (4:2 fluortelomeer sulfonzuur) µg/kgds <0.5 <0.5 <0.5 <0.5 <0.5 6:2 FTS (6:2 fluortelomeer sulfonzuur) µg/kgds <0.5 <0.5 230 <0.5 <0.5 8:2 FTS (8:2 fluortelomeer sulfonzuur) µg/kgds <0.5 <0.5 <0.5 <0.5 <0.5 10:2 FTS (10:2 fluortelomeer sulfonzuur) µg/kgds <0.5 <0.5 <0.5 <0.5 <0.5 MePFOSAA (n-methyl perfluoroctaansulfonamide acetaat) µg/kgds <0.5 <0.5 <0.5 <0.5 <0.5 EtPFOSAA (n-ethyl perfluoroctaansulfonamide acetaat) µg/kgds <0.5 <0.5 <0.5 <0.5 <0.5 PFOSA lineair (perfluoroctaansulfonamide) µg/kgds <0.5 <0.5 1.0 <0.5 <0.5 MePFOSA lineair (n-methyl perfluoroctaansulfonamide) µg/kgds <0.5 <0.5 <0.5 <0.5 <0.5 8:2 DiPAP (8:2 fluortelomeer fosfaat diester) µg/kgds <0.5 <0.5 <0.5 <0.5 <0.5 HFPO-DA (2,3,3,3tetrafluor-2(heptafluorpropoxy) propaanzuur) µg/kgds <0.5 <0.5 <0.5 <0.5 <0.5 EtPFOSA lineair (n-ethyl perfluoroctaansulfonamide) µg/kgds <0.5 <0.5 <0.5 <0.5 <0.5 MePFBSAA (n-methyl perfluorbutaansulfonamide acetaat) µg/kgds <0.5 <0.5 <0.5 <0.5 <0.5 DONA (4,8-dioxa-3Hperfluornonaanzuur) µg/kgds <0.5 <0.5 <0.5 <0.5 <0.5 MePFBSA (n-methyl perfluorbutaansulfonamide) µg/kgds <0.5 <0.5 <0.5 <0.5 <0.5 PFBSA (perfluorbutaansulfonamide) µg/kgds <0.5 <0.5 <0.5 <0.5 <0.5 PFHxSA (perfluorhexaansulfonamide) µg/kgds <0.5 <0.5 160 <0.5 <0.5 PFECHS (perfluor-4ethylcyclohexaansulfonzuur) µg/kgds <0.5 <0.5 <0.5 <0.5 <0.5 6:2 diPAP ( 6:2 fluortelomeerfosfaatdiester) µg/kgds <0.5 <0.5 <0.5 <0.5 <0.5 6:2/8:2 diPAP (6:2/8:2 fluortelomeerfosfaatdiester) µg/kgds <0.5 <0.5 <0.5 <0.5 <0.5
RSK BENELUX BVBA
Analyserapport

1 De rapportagegrens is verhoogd i.v.m. noodzakelijke verdunning.

RSK BENELUX BVBA BBO Brandweer Merelbeke 536794 13862525 03-05-2023 Romy Hofmans 03-05-2023 12-05-2023 Blad 6 van 10 Projectnaam Projectnummer Rapportnummer Orderdatum Startdatum Rapportagedatum SGS Environmental Analytics – Vestiging van SGS Nederland BV, Malledijk 18 - P.O. Box 200, NL-3200 AE Spijkenisse - Nederland. Al onze werkzaamheden worden uitgevoerd onder de algemene voorwaarden gedeponeerd bij de kamer van koophandel te Rotterdam inschrijving handelsregister 24226722. Analyserapport
1SGS Environmental Analytics is als laboratorium erkend voor het uitvoeren van milieuanalyses op grond en grondwater in Vlaanderen, Brussel en Wallonië.
Paraaf :
Voetnoten
BBO Brandweer Merelbeke 536794 13862525 03-05-2023 Romy Hofmans 03-05-2023 12-05-2023 Blad 7 van 10 Projectnaam Projectnummer Rapportnummer Orderdatum Startdatum Rapportagedatum SGS Environmental Analytics – Vestiging van SGS Nederland BV, Malledijk 18 - P.O. Box 200, NL-3200 AE Spijkenisse - Nederland. Al onze werkzaamheden worden uitgevoerd onder de algemene voorwaarden gedeponeerd bij de kamer van koophandel te Rotterdam inschrijving handelsregister 24226722.
Paraaf : 1SGS Environmental Analytics is als laboratorium erkend voor het uitvoeren van milieuanalyses op grond en grondwater in Vlaanderen, Brussel en Wallonië. NummerMonstersoortMonsterspecificatie 011Grond B102-1 (0 - 0.15 m) B102-1 (0 - 0.15 m) 012Grond PB108-1 (0 - 0.15 m PB108-1 (0 - 0.15 m) 013Grond PB104-1 (0 - 0.15 m PB104-1 (0 - 0.15 m) Analyse EenheidQ 011 012 013 droge stof gew.-%B 89.3 84.2 90.6 gewicht artefacten g B 0.000 0.000 0.000 aard van de artefacten- B geen geen geen
RSK BENELUX BVBA
Analyserapport
PER- EN POLYFLUORALKYLSTOFFEN PFBA (perfluorbutaanzuur)µg/kgds <0.5 0.60 <0.5 PFPeA (perfluorpentaanzuur)µg/kgds 0.84 2.4 2.4 PFHxA (perfluorhexaanzuur)µg/kgds <0.5 0.77 2.1 PFHpA (perfluorheptaanzuur) µg/kgds <0.5 <0.5 0.83 PFOA lineair (perfluoroctaanzuur) µg/kgds <0.5 <0.5 2.3 PFOA vertakt (perfluoroctaanzuur) µg/kgds <0.5 <0.5 0.60 Totaal PFOA (perfluoroctaanzuur) µg/kgds <0.5 <0.5 2.3 PFNA (perfluornonaanzuur)µg/kgds <0.5 <0.5 <0.5 PFNS (perfluornonaansulfonzuur) µg/kgds <0.5 <0.5 140 PFDA (perfluordecaanzuur)µg/kgds <0.5 <0.5 1.6 PFUnDA (perfluorundecaanzuur) µg/kgds <0.5 <0.5 0.84 PFDoDA (perfluordodecaanzuur) µg/kgds <0.5 <0.5 1.1 PFDoDS (perfluordodecaansulfonzuur) µg/kgds <0.5 <0.5 52 PFTrDA (perfluortridecaanzuur) µg/kgds <0.5 <0.5 0.52 PFTeDA (perfluortetradecaanzuur) µg/kgds <0.5 <0.5 0.53 PFHxDA (perfluorhexadecaanzuur) µg/kgds <0.5 <0.5 <0.5 PFODA (perfluoroctadecaanzuur) µg/kgds <0.5 <0.5 <0.5 PFBS (perfluorbutaansulfonzuur) µg/kgds <0.5 <0.5 1.6 PFPeS (perfluorpentaansulfonzuur) µg/kgds <0.5 <0.5 1.4 PFHxS lineair (perfluorhexaansulfonzuur) µg/kgds <0.5 <0.5 11 PFHpS (perfluorheptaansulfonzuur) µg/kgds <0.5 <0.5 1.7 PFOS lineair (perfluoroctaansulfonzuur) µg/kgds 1.2 3.3 1700 PFOS vertakt (perfluoroctaansulfonzuur) µg/kgds <0.5 <0.5 150 Totaal PFOS (perfluoroctaansulfonzuur) µg/kgds 1.4 3.5 1800
De met B gemerkte analyses vallen onder het B1 erkenningspakket (Bodem- Vaste deel) van het VLAREL.
BBO Brandweer Merelbeke 536794 13862525 03-05-2023 Romy Hofmans 03-05-2023 12-05-2023 Blad 8 van 10 Projectnaam Projectnummer Rapportnummer Orderdatum Startdatum Rapportagedatum SGS Environmental Analytics – Vestiging van SGS Nederland BV, Malledijk 18 - P.O. Box 200, NL-3200 AE Spijkenisse - Nederland. Al onze werkzaamheden worden uitgevoerd onder de algemene voorwaarden gedeponeerd bij de kamer van koophandel te Rotterdam inschrijving handelsregister 24226722.
Paraaf : 1SGS Environmental Analytics is als laboratorium erkend voor het uitvoeren van milieuanalyses op grond en grondwater in Vlaanderen, Brussel en Wallonië. NummerMonstersoortMonsterspecificatie 011Grond B102-1 (0 - 0.15 m) B102-1 (0 - 0.15 m) 012Grond PB108-1 (0 - 0.15 m PB108-1 (0 - 0.15 m) 013Grond PB104-1 (0 - 0.15 m PB104-1 (0 - 0.15 m) Analyse EenheidQ 011 012 013 PFDS (perfluordecaansulfonzuur) µg/kgds <0.5 <0.5 75 4:2 FTS (4:2 fluortelomeer sulfonzuur) µg/kgds <0.5 <0.5 <0.5 6:2 FTS (6:2 fluortelomeer sulfonzuur) µg/kgds <0.5 1.9 51 8:2 FTS (8:2 fluortelomeer sulfonzuur) µg/kgds <0.5 <0.5 4.2 10:2 FTS (10:2 fluortelomeer sulfonzuur) µg/kgds <0.5 <0.5 2.8 MePFOSAA (n-methyl perfluoroctaansulfonamide acetaat) µg/kgds <0.5 <0.5 4.2 EtPFOSAA (n-ethyl perfluoroctaansulfonamide acetaat) µg/kgds <0.5 <0.5 1.4 PFOSA lineair (perfluoroctaansulfonamide) µg/kgds <0.5 <0.5 190 MePFOSA lineair (n-methyl perfluoroctaansulfonamide) µg/kgds <0.5 <0.5 0.93 8:2 DiPAP (8:2 fluortelomeer fosfaat diester) µg/kgds <0.5 <0.5 <0.5 HFPO-DA (2,3,3,3tetrafluor-2(heptafluorpropoxy) propaanzuur) µg/kgds <0.5 <0.5 <0.5 EtPFOSA lineair (n-ethyl perfluoroctaansulfonamide) µg/kgds <0.5 <0.5 <0.5 MePFBSAA (n-methyl perfluorbutaansulfonamide acetaat) µg/kgds <0.5 <0.5 <0.5 DONA (4,8-dioxa-3Hperfluornonaanzuur) µg/kgds <0.5 <0.5 <0.5 MePFBSA (n-methyl perfluorbutaansulfonamide) µg/kgds <0.5 <0.5 <0.5 PFBSA (perfluorbutaansulfonamide) µg/kgds <0.5 <0.5 <0.5 PFHxSA (perfluorhexaansulfonamide) µg/kgds <0.5 <0.5 77 PFECHS (perfluor-4ethylcyclohexaansulfonzuur) µg/kgds <0.5 <0.5 <0.5 6:2 diPAP ( 6:2 fluortelomeerfosfaatdiester) µg/kgds <0.5 <0.5 <0.5 6:2/8:2 diPAP (6:2/8:2 fluortelomeerfosfaatdiester) µg/kgds <0.5 <0.5 <0.5
RSK BENELUX BVBA
Analyserapport

droge stof

aard van de artefacten

PFBA (perfluorbutaanzuur) Grond

PFPeA (perfluorpentaanzuur)Grond

PFHxA (perfluorhexaanzuur)Grond

PFHpA (perfluorheptaanzuur)Grond

PFOA lineair (perfluoroctaanzuur)Grond

PFOA vertakt (perfluoroctaanzuur) Grond

Totaal PFOA (perfluoroctaanzuur)Grond

PFNA (perfluornonaanzuur) Grond Idem

PFNS (perfluornonaansulfonzuur)Grond Idem

PFDA (perfluordecaanzuur) Grond

PFUnDA (perfluorundecaanzuur)Grond

PFDoDA (perfluordodecaanzuur)Grond

PFDoDS (perfluordodecaansulfonzuur)

PFTrDA (perfluortridecaanzuur)Grond

PFTeDA (perfluortetradecaanzuur)

PFHxDA (perfluorhexadecaanzuur)

PFODA (perfluoroctadecaanzuur)Grond

PFBS (perfluorbutaansulfonzuur)Grond

PFPeS (perfluorpentaansulfonzuur)

PFHxS lineair (perfluorhexaansulfonzuur)

PFHpS (perfluorheptaansulfonzuur)

PFOS lineair (perfluoroctaansulfonzuur)

PFOS vertakt (perfluoroctaansulfonzuur)

Totaal PFOS (perfluoroctaansulfonzuur)

PFDS (perfluordecaansulfonzuur)Grond

4:2 FTS (4:2 fluortelomeer sulfonzuur)

6:2 FTS (6:2 fluortelomeer sulfonzuur)

8:2 FTS (8:2 fluortelomeer sulfonzuur)

10:2 FTS (10:2 fluortelomeer sulfonzuur)

MePFOSAA (n-methyl perfluoroctaansulfonamide acetaat)

EtPFOSAA (n-ethyl perfluoroctaansulfonamide acetaat)

PFOSA lineair (perfluoroctaansulfonamide)

BBO Brandweer Merelbeke 536794 13862525 03-05-2023 Romy Hofmans 03-05-2023 12-05-2023 Blad 9 van 10 Projectnaam Projectnummer Rapportnummer Orderdatum Startdatum Rapportagedatum SGS Environmental Analytics – Vestiging van SGS Nederland BV, Malledijk 18 - P.O. Box 200, NL-3200 AE Spijkenisse - Nederland. Al onze werkzaamheden worden uitgevoerd onder de algemene voorwaarden gedeponeerd bij de kamer van koophandel te Rotterdam inschrijving handelsregister 24226722.
RSK BENELUX BVBA
Analyserapport
1SGS Environmental Analytics is als laboratorium erkend voor het uitvoeren van milieuanalyses op grond en grondwater in Vlaanderen, Brussel en Wallonië.
Paraaf :
Relatie tot norm
Grond CMA/2/II/A.1
Grond CMA/5/A.4
Analyse Monstersoort
Conform CMA/3/D
Idem
Idem
Idem
Idem
Idem
Idem
Idem
Idem
Idem
Grond Idem
Idem
Idem
Grond
Grond Idem
Idem
Idem
Grond Idem
Grond Idem
Grond Idem
Grond Idem
Grond Idem
Grond Idem
Idem
Grond Idem
Grond Idem
Grond Idem
Grond Idem
Grond Idem
Grond Idem
Grond Idem

MePFOSA lineair (n-methyl perfluoroctaansulfonamide)

8:2 DiPAP (8:2 fluortelomeer fosfaat diester)

HFPO-DA (2,3,3,3-tetrafluor-2(heptafluorpropoxy) propaanzuur)

EtPFOSA lineair (n-ethyl perfluoroctaansulfonamide)

MePFBSAA (n-methyl perfluorbutaansulfonamide acetaat)

DONA (4,8-dioxa-3Hperfluornonaanzuur)

MePFBSA (n-methyl perfluorbutaansulfonamide)

PFBSA (perfluorbutaansulfonamide)

PFHxSA (perfluorhexaansulfonamide)

PFECHS (perfluor-4ethylcyclohexaansulfonzuur)

6:2 diPAP ( 6:2 fluortelomeerfosfaatdiester)

6:2/8:2 diPAP (6:2/8:2 fluortelomeerfosfaatdiester)

BBO Brandweer Merelbeke 536794 13862525 03-05-2023 Romy Hofmans 03-05-2023 12-05-2023 Blad 10 van 10 Projectnaam Projectnummer Rapportnummer Orderdatum Startdatum Rapportagedatum SGS Environmental Analytics – Vestiging van SGS Nederland BV, Malledijk 18 - P.O. Box 200, NL-3200 AE Spijkenisse - Nederland. Al onze werkzaamheden worden uitgevoerd onder de algemene voorwaarden gedeponeerd bij de kamer van koophandel te Rotterdam inschrijving handelsregister 24226722.
RSK BENELUX BVBA
Analyserapport
1SGS Environmental Analytics is als laboratorium erkend voor het uitvoeren van milieuanalyses op grond en grondwater in Vlaanderen, Brussel en Wallonië.
Monstersoort Relatie tot norm
Paraaf :
Analyse
Grond Idem
Grond Idem
Grond Idem
Grond Idem
Grond Idem
Grond Idem
Grond Idem
Grond Idem
Idem
Grond
Grond Idem
Grond Idem
Grond Idem MonsterBarcode AanleveringMonsternameVerpakking 001 C4567881 03-05-202302-05-2023ALU253 002 C4568088 03-05-202302-05-2023ALU253 003 C4568262 03-05-202302-05-2023ALU253 004 C4565916 03-05-202302-05-2023ALU253 005 C4568085 03-05-202302-05-2023ALU253 006 C4568077 03-05-202302-05-2023ALU253 007 C4568093 03-05-202302-05-2023ALU253 008 C4568068 03-05-202302-05-2023ALU253 009 C4568023 03-05-202302-05-2023ALU253 010 C4568096 03-05-202302-05-2023ALU253 011 C4568090 03-05-202302-05-2023ALU253 012 C4567882 03-05-202302-05-2023ALU253 013 C4568069 03-05-202302-05-2023ALU253

RSK BENELUX BVBA

Romy Hofmans

Ontginningstraat 22

B-3530 HOUTHALEN-HELCHTEREN

Uw projectnaam : BBO Brandweer Merelbeke

Uw projectnummer : 536794

SGS rapportnummer : 13868316, versienummer: 1.

Rotterdam, 26-05-2023

Geachte heer/mevrouw,

Hierbij ontvangt u de analyse resultaten van het laboratoriumonderzoek ten behoeve van uw project 536794. Het onderzoek werd uitgevoerd conform uw opdracht. De gerapporteerde resultaten hebben uitsluitend betrekking op de door SGS geteste monsters en zoals door SGS ontvangen zijn. De door u aangegeven omschrijvingen voor de monsters, het project en de monsternamedatum (indien aangeleverd) zijn overgenomen in dit analyserapport. SGS is niet verantwoordelijk voor de gegevens verstrekt door de opdrachtgever.

Het onderzoek is uitgevoerd door SGS Environmental Analytics, gevestigd aan de Steenhouwerstraat 15 in Rotterdam (NL). Indien het onderzoek is uitgevoerd door derden is dit in het rapport aangegeven.

Dit analyserapport bestaat inclusief bijlagen uit 5 pagina's. In geval van een versienummer van '2' of hoger vervallen de voorgaande versies. Alle bijlagen maken onlosmakelijk onderdeel uit van het rapport. Alleen vermenigvuldiging van het hele rapport is toegestaan.

Voor meer informatie, omtrent bijvoorbeeld meetonzekerheid of gebruikte analysemethoden, kunt u contact opnemen met de afdeling Customer Support.

Per 1 september 2022 is SGS Environmental Analytics B.V. gefuseerd met SGS Nederland B.V. en handelt onder de naam SGS Environmental Analytics. Alle erkenningen van SGS Environmental Analytics B.V. blijven van kracht en zijn/worden omgezet naar SGS Nederland B.V.

Wij vertrouwen er op u met deze informatie van dienst te zijn.

Hoogachtend,

SGS Environmental Analytics – Vestiging van SGS Nederland BV, Malledijk 18 - P.O. Box 200, NL-3200 AE Spijkenisse - Nederland. Al onze werkzaamheden worden uitgevoerd onder de algemene voorwaarden gedeponeerd bij de kamer van koophandel te Rotterdam inschrijving handelsregister 24226722.
1 van 5 SGS Environmental Analytics is als laboratorium erkend voor het uitvoeren van milieuanalyses op grond en grondwater in Vlaanderen, Brussel en Wallonië. SGS Environmental Analytics Correspondentieadres Polderdijkweg 16 · B-2030 Antwerpen Tel.: +32 (0)3 202 04 30 · Fax: +32 (0)3 202 04 39 www.sgs.com/analytics-be
Analyserapport Blad
BBO Brandweer Merelbeke 536794 13868316 12-05-2023 Romy Hofmans 12-05-2023 26-05-2023 Blad 2 van 5 Projectnaam Projectnummer Rapportnummer Orderdatum Startdatum Rapportagedatum SGS Environmental Analytics – Vestiging van SGS Nederland BV, Malledijk 18 - P.O. Box 200, NL-3200 AE Spijkenisse - Nederland. Al onze werkzaamheden worden uitgevoerd onder de algemene voorwaarden gedeponeerd bij de kamer van koophandel te Rotterdam inschrijving handelsregister 24226722.
Paraaf : 1SGS Environmental Analytics is als laboratorium erkend voor het uitvoeren van milieuanalyses op grond en grondwater in Vlaanderen, Brussel en Wallonië. NummerMonstersoortMonsterspecificatie 001Grond MM135-1 (0 - 0.3 m) MM135-1 (0 - 0.3 m) 002Grond MM139-1 (0 - 0.3 m) MM139-1 (0 - 0.3 m) Analyse EenheidQ 001 002 droge stof gew.-%B 88.7 83.8 gewicht artefacten g B 0.000 0.000 aard van de artefacten- B geen geen
RSK
BENELUX BVBA
Analyserapport
PER- EN POLYFLUORALKYLSTOFFEN PFBA (perfluorbutaanzuur)µg/kgds <0.5 <0.5 PFPeA (perfluorpentaanzuur)µg/kgds <0.5 <0.5 PFHxA (perfluorhexaanzuur)µg/kgds <0.5 <0.5 PFHpA (perfluorheptaanzuur) µg/kgds <0.5 <0.5 PFOA lineair (perfluoroctaanzuur) µg/kgds <0.5 <0.5 PFOA vertakt (perfluoroctaanzuur) µg/kgds <0.5 <0.5 Totaal PFOA (perfluoroctaanzuur) µg/kgds <0.5 <0.5 PFNA (perfluornonaanzuur)µg/kgds <0.5 <0.5 PFNS (perfluornonaansulfonzuur) µg/kgds <0.5 <0.5 PFDA (perfluordecaanzuur)µg/kgds <0.5 <0.5 PFUnDA (perfluorundecaanzuur) µg/kgds <0.5 <0.5 PFDoDA (perfluordodecaanzuur) µg/kgds <0.5 <0.5 PFDoDS (perfluordodecaansulfonzuur) µg/kgds <0.5 <0.5 PFTrDA (perfluortridecaanzuur) µg/kgds <0.5 <0.5 PFTeDA (perfluortetradecaanzuur) µg/kgds <0.5 <0.5 PFHxDA (perfluorhexadecaanzuur) µg/kgds <0.5 <0.5 PFODA (perfluoroctadecaanzuur) µg/kgds <0.5 <0.5 PFBS (perfluorbutaansulfonzuur) µg/kgds <0.5 <0.5 PFPeS (perfluorpentaansulfonzuur) µg/kgds <0.5 <0.5 PFHxS lineair (perfluorhexaansulfonzuur) µg/kgds <0.5 <0.5 PFHpS (perfluorheptaansulfonzuur) µg/kgds <0.5 <0.5 PFOS lineair (perfluoroctaansulfonzuur) µg/kgds 0.89 1.4 PFOS vertakt (perfluoroctaansulfonzuur) µg/kgds <0.5 <0.5 Totaal PFOS (perfluoroctaansulfonzuur) µg/kgds 1.1 1.8 PFDS (perfluordecaansulfonzuur) µg/kgds <0.5 <0.5
De met B gemerkte analyses vallen onder het B1 erkenningspakket (Bodem- Vaste deel) van het VLAREL.
BBO Brandweer Merelbeke 536794 13868316 12-05-2023 Romy Hofmans 12-05-2023 26-05-2023 Blad 3 van 5 Projectnaam Projectnummer Rapportnummer Orderdatum Startdatum Rapportagedatum SGS Environmental Analytics – Vestiging van SGS Nederland BV, Malledijk 18 - P.O. Box 200, NL-3200 AE Spijkenisse - Nederland. Al onze werkzaamheden worden uitgevoerd onder de algemene voorwaarden gedeponeerd bij de kamer van koophandel te Rotterdam inschrijving handelsregister 24226722.
Paraaf : 1SGS Environmental Analytics is als laboratorium erkend voor het uitvoeren van milieuanalyses op grond en grondwater in Vlaanderen, Brussel en Wallonië. NummerMonstersoortMonsterspecificatie 001Grond MM135-1 (0 - 0.3 m) MM135-1 (0 - 0.3 m) 002Grond MM139-1 (0 - 0.3 m) MM139-1 (0 - 0.3 m) Analyse EenheidQ 001 002 4:2 FTS (4:2 fluortelomeer sulfonzuur) µg/kgds <0.5 <0.5 6:2 FTS (6:2 fluortelomeer sulfonzuur) µg/kgds <0.5 <0.5 8:2 FTS (8:2 fluortelomeer sulfonzuur) µg/kgds <0.5 <0.5 10:2 FTS (10:2 fluortelomeer sulfonzuur) µg/kgds <0.5 <0.5 MePFOSAA (n-methyl perfluoroctaansulfonamide acetaat) µg/kgds <0.5 <0.5 EtPFOSAA (n-ethyl perfluoroctaansulfonamide acetaat) µg/kgds <0.5 <0.5 PFOSA lineair (perfluoroctaansulfonamide) µg/kgds <0.5 <0.5 MePFOSA lineair (n-methyl perfluoroctaansulfonamide) µg/kgds <0.5 <0.5 8:2 DiPAP (8:2 fluortelomeer fosfaat diester) µg/kgds <0.5 <0.5 HFPO-DA (2,3,3,3tetrafluor-2(heptafluorpropoxy) propaanzuur) µg/kgds <0.5 <0.5 EtPFOSA lineair (n-ethyl perfluoroctaansulfonamide) µg/kgds <0.5 <0.5 MePFBSAA (n-methyl perfluorbutaansulfonamide acetaat) µg/kgds <0.5 <0.5 DONA (4,8-dioxa-3Hperfluornonaanzuur) µg/kgds <0.5 <0.5 MePFBSA (n-methyl perfluorbutaansulfonamide) µg/kgds <0.5 <0.5 PFBSA (perfluorbutaansulfonamide) µg/kgds <0.5 <0.5 PFHxSA (perfluorhexaansulfonamide) µg/kgds <0.5 <0.5 PFECHS (perfluor-4ethylcyclohexaansulfonzuur) µg/kgds <0.5 <0.5 6:2 diPAP ( 6:2 fluortelomeerfosfaatdiester) µg/kgds <0.5 <0.5 6:2/8:2 diPAP (6:2/8:2 fluortelomeerfosfaatdiester) µg/kgds <0.5 <0.5
RSK BENELUX BVBA
Analyserapport

aard van de artefacten

PFBA (perfluorbutaanzuur) Grond

PFPeA (perfluorpentaanzuur)Grond

PFHxA (perfluorhexaanzuur)Grond Idem

PFHpA (perfluorheptaanzuur)Grond Idem

PFOA lineair (perfluoroctaanzuur)Grond Idem

PFOA vertakt (perfluoroctaanzuur) Grond Idem

Totaal PFOA (perfluoroctaanzuur)Grond Idem

PFNA (perfluornonaanzuur) Grond Idem

PFNS (perfluornonaansulfonzuur)Grond Idem

PFDA (perfluordecaanzuur) Grond

PFUnDA (perfluorundecaanzuur)Grond

PFDoDA (perfluordodecaanzuur)Grond

PFDoDS (perfluordodecaansulfonzuur)

PFTrDA (perfluortridecaanzuur)Grond

PFTeDA (perfluortetradecaanzuur)

PFHxDA (perfluorhexadecaanzuur)

PFODA (perfluoroctadecaanzuur)Grond

PFBS (perfluorbutaansulfonzuur)Grond

PFPeS (perfluorpentaansulfonzuur)

PFHxS lineair (perfluorhexaansulfonzuur)

PFHpS (perfluorheptaansulfonzuur)

PFOS lineair (perfluoroctaansulfonzuur)

PFOS vertakt (perfluoroctaansulfonzuur)

Totaal PFOS (perfluoroctaansulfonzuur)

PFDS (perfluordecaansulfonzuur)Grond

4:2 FTS (4:2 fluortelomeer sulfonzuur)

6:2 FTS (6:2 fluortelomeer sulfonzuur)

8:2 FTS (8:2 fluortelomeer sulfonzuur)

10:2 FTS (10:2 fluortelomeer sulfonzuur)

MePFOSAA (n-methyl perfluoroctaansulfonamide acetaat)

EtPFOSAA (n-ethyl perfluoroctaansulfonamide acetaat)

PFOSA lineair (perfluoroctaansulfonamide)

BBO Brandweer Merelbeke 536794 13868316 12-05-2023 Romy Hofmans 12-05-2023 26-05-2023 Blad 4 van 5 Projectnaam Projectnummer Rapportnummer Orderdatum Startdatum Rapportagedatum SGS Environmental Analytics – Vestiging van SGS Nederland BV, Malledijk 18 - P.O. Box 200, NL-3200 AE Spijkenisse - Nederland. Al onze werkzaamheden worden uitgevoerd onder de algemene voorwaarden gedeponeerd bij de kamer van koophandel te Rotterdam inschrijving handelsregister 24226722.
RSK BENELUX BVBA
Analyserapport
1SGS Environmental Analytics is als laboratorium erkend voor het uitvoeren van milieuanalyses op grond en grondwater in Vlaanderen, Brussel en Wallonië.
Paraaf :
Relatie tot norm
Grond CMA/2/II/A.1
Grond CMA/5/A.4
Analyse Monstersoort
droge stof
Conform CMA/3/D
Idem
Idem
Idem
Idem
Grond Idem
Idem
Idem
Grond
Grond Idem
Idem
Idem
Grond Idem
Grond Idem
Grond Idem
Grond Idem
Grond Idem
Grond Idem
Idem
Grond Idem
Grond Idem
Grond Idem
Grond Idem
Grond Idem
Grond Idem
Grond Idem

MePFOSA lineair (n-methyl perfluoroctaansulfonamide)

8:2 DiPAP (8:2 fluortelomeer fosfaat diester)

HFPO-DA (2,3,3,3-tetrafluor-2(heptafluorpropoxy) propaanzuur)

EtPFOSA lineair (n-ethyl perfluoroctaansulfonamide)

MePFBSAA (n-methyl perfluorbutaansulfonamide acetaat)

DONA (4,8-dioxa-3Hperfluornonaanzuur)

MePFBSA (n-methyl perfluorbutaansulfonamide)

PFBSA (perfluorbutaansulfonamide)

PFHxSA (perfluorhexaansulfonamide)

PFECHS (perfluor-4ethylcyclohexaansulfonzuur)

6:2 diPAP ( 6:2 fluortelomeerfosfaatdiester)

6:2/8:2 diPAP (6:2/8:2 fluortelomeerfosfaatdiester)

BBO Brandweer Merelbeke 536794 13868316 12-05-2023 Romy Hofmans 12-05-2023 26-05-2023 Blad 5 van 5 Projectnaam Projectnummer Rapportnummer Orderdatum Startdatum Rapportagedatum SGS Environmental Analytics – Vestiging van SGS Nederland BV, Malledijk 18 - P.O. Box 200, NL-3200 AE Spijkenisse - Nederland. Al onze werkzaamheden worden uitgevoerd onder de algemene voorwaarden gedeponeerd bij de kamer van koophandel te Rotterdam inschrijving handelsregister 24226722.
RSK BENELUX BVBA
Analyserapport
1SGS Environmental Analytics is als laboratorium erkend voor het uitvoeren van milieuanalyses op grond en grondwater in Vlaanderen, Brussel en Wallonië.
Paraaf :
Relatie tot norm
Analyse Monstersoort
Idem
Grond
Idem
Grond
Grond Idem
Grond Idem
Grond Idem
Grond Idem
Grond Idem
Grond Idem
Grond Idem
Grond Idem
Grond Idem
Grond Idem MonsterBarcode AanleveringMonsternameVerpakking 001 Y9955605 16-05-202311-05-2023ALC201 002 E9044045 11-05-202311-05-2023ALC291

RSK BENELUX BVBA

Romy Hofmans

Ontginningstraat 22

B-3530 HOUTHALEN-HELCHTEREN

Uw projectnaam : BBO Brandweer Merelbeke

Uw projectnummer : 536794

SGS rapportnummer : 13870674, versienummer: 1.

Rotterdam, 30-05-2023

Geachte heer/mevrouw,

Hierbij ontvangt u de analyse resultaten van het laboratoriumonderzoek ten behoeve van uw project 536794. Het onderzoek werd uitgevoerd conform uw opdracht. De gerapporteerde resultaten hebben uitsluitend betrekking op de door SGS geteste monsters en zoals door SGS ontvangen zijn. De door u aangegeven omschrijvingen voor de monsters, het project en de monsternamedatum (indien aangeleverd) zijn overgenomen in dit analyserapport. SGS is niet verantwoordelijk voor de gegevens verstrekt door de opdrachtgever.

Het onderzoek is uitgevoerd door SGS Environmental Analytics, gevestigd aan de Steenhouwerstraat 15 in Rotterdam (NL). Indien het onderzoek is uitgevoerd door derden is dit in het rapport aangegeven.

Dit analyserapport bestaat inclusief bijlagen uit 8 pagina's. In geval van een versienummer van '2' of hoger vervallen de voorgaande versies. Alle bijlagen maken onlosmakelijk onderdeel uit van het rapport. Alleen vermenigvuldiging van het hele rapport is toegestaan.

Voor meer informatie, omtrent bijvoorbeeld meetonzekerheid of gebruikte analysemethoden, kunt u contact opnemen met de afdeling Customer Support.

Per 1 september 2022 is SGS Environmental Analytics B.V. gefuseerd met SGS Nederland B.V. en handelt onder de naam SGS Environmental Analytics. Alle erkenningen van SGS Environmental Analytics B.V. blijven van kracht en zijn/worden omgezet naar SGS Nederland B.V.

Wij vertrouwen er op u met deze informatie van dienst te zijn.

Hoogachtend,

SGS Environmental Analytics – Vestiging van SGS Nederland BV, Malledijk 18 - P.O. Box 200, NL-3200 AE Spijkenisse - Nederland. Al onze werkzaamheden worden uitgevoerd onder de algemene voorwaarden gedeponeerd bij de kamer van koophandel te Rotterdam inschrijving handelsregister 24226722.
1 van 8 SGS Environmental Analytics is als laboratorium erkend voor het uitvoeren van milieuanalyses op grond en grondwater in Vlaanderen, Brussel en Wallonië. SGS Environmental Analytics Correspondentieadres Polderdijkweg 16 · B-2030 Antwerpen Tel.: +32 (0)3 202 04 30 · Fax: +32 (0)3 202 04 39 www.sgs.com/analytics-be
Analyserapport Blad

De met B gemerkte analyses vallen onder het B1 erkenningspakket (Bodem- Vaste deel) van het VLAREL.

BBO Brandweer Merelbeke 536794 13870674 22-05-2023 Romy Hofmans 16-05-2023 30-05-2023 Blad 2 van 8 Projectnaam Projectnummer Rapportnummer Orderdatum Startdatum Rapportagedatum SGS Environmental Analytics – Vestiging van SGS Nederland BV, Malledijk 18 - P.O. Box 200, NL-3200 AE Spijkenisse - Nederland. Al onze werkzaamheden worden uitgevoerd onder de algemene voorwaarden gedeponeerd bij de kamer van koophandel te Rotterdam inschrijving handelsregister 24226722.
Paraaf : 1SGS Environmental Analytics is als laboratorium erkend voor het uitvoeren van milieuanalyses op grond en grondwater in Vlaanderen, Brussel en Wallonië. NummerMonstersoortMonsterspecificatie 001Grond MM126-1 (0 - 0.1 m) MM126-1 (0 - 0.1 m) 002Grond MM128-1 (0 - 0.1 m) MM128-1 (0 - 0.1 m) 003Grond MM116-1 (0 - 0.1 m) MM116-1 (0 - 0.1 m) 004Grond PB110-2 (0.15 - 0.5 PB110-2 (0.15 - 0.5 m) 005Grond MM124-1 (0 - 0.1 m) MM124-1 (0 - 0.1 m) Analyse EenheidQ 001 002 003 004 005 droge stof gew.-%B 85.6 88.1 89.5 90.2 91.4 gewicht artefacten g B 0.000 0.000 18 0.000 0.000 aard van de artefacten- B geen geen stenen geen geen
RSK BENELUX BVBA
Analyserapport
PER- EN POLYFLUORALKYLSTOFFEN PFBA (perfluorbutaanzuur)µg/kgds <0.5 <0.5 <0.5 0.52 <0.5 PFPeA (perfluorpentaanzuur)µg/kgds <0.5 <0.5 <0.5 1.7 <0.5 PFHxA (perfluorhexaanzuur)µg/kgds <0.5 <0.5 <0.5 1.3 <0.5 PFHpA (perfluorheptaanzuur) µg/kgds <0.5 <0.5 <0.5 1.3 <0.5 PFOA lineair (perfluoroctaanzuur) µg/kgds <0.5 <0.5 <0.5 <0.5 <0.5 PFOA vertakt (perfluoroctaanzuur) µg/kgds <0.5 <0.5 <0.5 <0.5 <0.5 Totaal PFOA (perfluoroctaanzuur) µg/kgds <0.5 <0.5 <0.5 <0.5 <0.5 PFNA (perfluornonaanzuur)µg/kgds <0.5 <0.5 <0.5 <0.5 <0.5 PFNS (perfluornonaansulfonzuur) µg/kgds <0.5 <0.5 <0.5 <0.5 <0.5 PFDA (perfluordecaanzuur)µg/kgds <0.5 <0.5 <0.5 <0.5 <0.5 PFUnDA (perfluorundecaanzuur) µg/kgds <0.5 <0.5 <0.5 <0.5 <0.5 PFDoDA (perfluordodecaanzuur) µg/kgds <0.5 <0.5 <0.5 <0.5 <0.5 PFDoDS (perfluordodecaansulfonzuur) µg/kgds <0.5 <0.5 <0.5 <0.5 <0.5 PFTrDA (perfluortridecaanzuur) µg/kgds <0.5 <0.5 <0.5 <0.5 <0.5 PFTeDA (perfluortetradecaanzuur) µg/kgds <0.5 <0.5 <0.5 <0.5 <0.5 PFHxDA (perfluorhexadecaanzuur) µg/kgds <0.5 <0.5 <0.5 <0.5 <0.5 PFODA (perfluoroctadecaanzuur) µg/kgds <0.5 <0.5 <0.5 <0.5 <0.5 PFBS (perfluorbutaansulfonzuur) µg/kgds <0.5 <0.5 <0.5 <0.5 <0.5 PFPeS (perfluorpentaansulfonzuur) µg/kgds <0.5 <0.5 <0.5 <0.5 <0.5 PFHxS lineair (perfluorhexaansulfonzuur) µg/kgds <0.5 <0.5 <0.5 <0.5 <0.5 PFHpS (perfluorheptaansulfonzuur) µg/kgds <0.5 <0.5 <0.5 <0.5 <0.5 PFOS lineair (perfluoroctaansulfonzuur) µg/kgds 0.58 1.2 0.69 2.5 0.87 PFOS vertakt (perfluoroctaansulfonzuur) µg/kgds <0.5 <0.5 <0.5 1.2 <0.5
BBO Brandweer Merelbeke 536794 13870674 22-05-2023 Romy Hofmans 16-05-2023 30-05-2023 Blad 3 van 8 Projectnaam Projectnummer Rapportnummer Orderdatum Startdatum Rapportagedatum SGS Environmental Analytics – Vestiging van SGS Nederland BV, Malledijk 18 - P.O. Box 200, NL-3200 AE Spijkenisse - Nederland. Al onze werkzaamheden worden uitgevoerd onder de algemene voorwaarden gedeponeerd bij de kamer van koophandel te Rotterdam inschrijving handelsregister 24226722.
Paraaf : 1SGS Environmental Analytics is als laboratorium erkend voor het uitvoeren van milieuanalyses op grond en grondwater in Vlaanderen, Brussel en Wallonië. NummerMonstersoortMonsterspecificatie 001Grond MM126-1 (0 - 0.1 m) MM126-1 (0 - 0.1 m) 002Grond MM128-1 (0 - 0.1 m) MM128-1 (0 - 0.1 m) 003Grond MM116-1 (0 - 0.1 m) MM116-1 (0 - 0.1 m) 004Grond PB110-2 (0.15 - 0.5 PB110-2 (0.15 - 0.5 m) 005Grond MM124-1 (0 - 0.1 m) MM124-1 (0 - 0.1 m) Analyse EenheidQ 001 002 003 004 005 Totaal PFOS (perfluoroctaansulfonzuur) µg/kgds 0.71 1.4 0.77 3.7 1.0 PFDS (perfluordecaansulfonzuur) µg/kgds <0.5 <0.5 <0.5 <0.5 <0.5 4:2 FTS (4:2 fluortelomeer sulfonzuur) µg/kgds <0.5 <0.5 <0.5 <0.5 <0.5 6:2 FTS (6:2 fluortelomeer sulfonzuur) µg/kgds <0.5 <0.5 <0.5 14 <0.5 8:2 FTS (8:2 fluortelomeer sulfonzuur) µg/kgds <0.5 <0.5 <0.5 <0.5 <0.5 10:2 FTS (10:2 fluortelomeer sulfonzuur) µg/kgds <0.5 <0.5 <0.5 <0.5 <0.5 MePFOSAA (n-methyl perfluoroctaansulfonamide acetaat) µg/kgds <0.5 <0.5 <0.5 <0.5 <0.5 EtPFOSAA (n-ethyl perfluoroctaansulfonamide acetaat) µg/kgds <0.5 <0.5 <0.5 <0.5 <0.5 PFOSA lineair (perfluoroctaansulfonamide) µg/kgds <0.5 <0.5 <0.5 <0.5 <0.5 MePFOSA lineair (n-methyl perfluoroctaansulfonamide) µg/kgds <0.5 <0.5 <0.5 <0.5 <0.5 8:2 DiPAP (8:2 fluortelomeer fosfaat diester) µg/kgds <0.5 <0.5 <0.5 <0.5 <0.5 HFPO-DA (2,3,3,3tetrafluor-2(heptafluorpropoxy) propaanzuur) µg/kgds <0.5 <0.5 <0.5 <0.5 <0.5 EtPFOSA lineair (n-ethyl perfluoroctaansulfonamide) µg/kgds <0.5 <0.5 <0.5 <0.5 <0.5 MePFBSAA (n-methyl perfluorbutaansulfonamide acetaat) µg/kgds <0.5 <0.5 <0.5 <0.5 <0.5 DONA (4,8-dioxa-3Hperfluornonaanzuur) µg/kgds <0.5 <0.5 <0.5 <0.5 <0.5 MePFBSA (n-methyl perfluorbutaansulfonamide) µg/kgds <0.5 <0.5 <0.5 <0.5 <0.5 PFBSA (perfluorbutaansulfonamide) µg/kgds <0.5 <0.5 <0.5 <0.5 <0.5 PFHxSA (perfluorhexaansulfonamide) µg/kgds <0.5 <0.5 <0.5 <0.5 <0.5 PFECHS (perfluor-4ethylcyclohexaansulfonzuur) µg/kgds <0.5 <0.5 <0.5 <0.5 <0.5 6:2 diPAP ( 6:2 fluortelomeerfosfaatdiester) µg/kgds <0.5 <0.5 <0.5 <0.5 <0.5 6:2/8:2 diPAP (6:2/8:2 fluortelomeerfosfaatdiester) µg/kgds <0.5 <0.5 <0.5 <0.5 <0.5
RSK BENELUX BVBA
Analyserapport

De met B gemerkte analyses vallen onder het B1 erkenningspakket (Bodem- Vaste deel) van het VLAREL.

BBO Brandweer Merelbeke 536794 13870674 22-05-2023 Romy Hofmans 16-05-2023 30-05-2023 Blad 4 van 8 Projectnaam Projectnummer Rapportnummer Orderdatum Startdatum Rapportagedatum SGS Environmental Analytics – Vestiging van SGS Nederland BV, Malledijk 18 - P.O. Box 200, NL-3200 AE Spijkenisse - Nederland. Al onze werkzaamheden worden uitgevoerd onder de algemene voorwaarden gedeponeerd bij de kamer van koophandel te Rotterdam inschrijving handelsregister 24226722.
Paraaf : 1SGS Environmental Analytics is als laboratorium erkend voor het uitvoeren van milieuanalyses op grond en grondwater in Vlaanderen, Brussel en Wallonië. NummerMonstersoortMonsterspecificatie 006Grond MM122-1 (0 - 0.1 m) MM122-1 (0 - 0.1 m) 007Grond MM130-1 (0 - 0.1 m) MM130-1 (0 - 0.1 m) 008Grond PB104-6 (1.5 - 2 m) PB104-6 (1.5 - 2 m) 009Grond PB104-4 (1 - 1.25 m PB104-4 (1 - 1.25 m) 010Grond MM132-1 (0 - 0.1 m) MM132-1 (0 - 0.1 m) Analyse EenheidQ 006 007 008 009 010 droge stof gew.-%B 87.0 83.7 83.8 87.8 88.3 gewicht artefacten g B 0.000 0.000 0.000 0.000 18 aard van de artefacten- B geen geen geen geen div. materialen
RSK BENELUX BVBA
Analyserapport
PER- EN POLYFLUORALKYLSTOFFEN PFBA (perfluorbutaanzuur)µg/kgds <0.5 <0.5 2.4 <0.5 <0.5 PFPeA (perfluorpentaanzuur)µg/kgds <0.5 <0.5 14 1.1 <0.5 PFHxA (perfluorhexaanzuur)µg/kgds <0.5 <0.5 8.1 0.85 <0.5 PFHpA (perfluorheptaanzuur) µg/kgds <0.5 <0.5 1.3 0.53 <0.5 PFOA lineair (perfluoroctaanzuur) µg/kgds <0.5 <0.5 0.76 5.8 <0.5 PFOA vertakt (perfluoroctaanzuur) µg/kgds <0.5 <0.5 <0.5 0.71 <0.5 Totaal PFOA (perfluoroctaanzuur) µg/kgds <0.5 <0.5 0.90 6.5 <0.5 PFNA (perfluornonaanzuur)µg/kgds <0.5 <0.5 <0.5 <0.5 <0.5 PFNS (perfluornonaansulfonzuur) µg/kgds <0.5 <0.5 <0.5 <0.5 <0.5 PFDA (perfluordecaanzuur)µg/kgds <0.5 <0.5 <0.5 <0.5 <0.5 PFUnDA (perfluorundecaanzuur) µg/kgds <0.5 <0.5 <0.5 <0.5 <0.5 PFDoDA (perfluordodecaanzuur) µg/kgds <0.5 <0.5 <0.5 <0.5 <0.5 PFDoDS (perfluordodecaansulfonzuur) µg/kgds <0.5 <0.5 <0.5 <0.5 <0.5 PFTrDA (perfluortridecaanzuur) µg/kgds <0.5 <0.5 <0.5 <0.5 <0.5 PFTeDA (perfluortetradecaanzuur) µg/kgds <0.5 <0.5 <0.5 <0.5 <0.5 PFHxDA (perfluorhexadecaanzuur) µg/kgds <0.5 <0.5 <0.5 <0.5 <0.5 PFODA (perfluoroctadecaanzuur) µg/kgds <0.5 <0.5 <0.5 <0.5 <0.5 PFBS (perfluorbutaansulfonzuur) µg/kgds <0.5 <0.5 <0.5 <0.5 <0.5 PFPeS (perfluorpentaansulfonzuur) µg/kgds <0.5 <0.5 <0.5 <0.5 <0.5 PFHxS lineair (perfluorhexaansulfonzuur) µg/kgds <0.5 <0.5 2.9 6.6 <0.5 PFHpS (perfluorheptaansulfonzuur) µg/kgds <0.5 <0.5 1.2 1.5 <0.5 PFOS lineair (perfluoroctaansulfonzuur) µg/kgds <0.5 0.75 29 5100 1.5 PFOS vertakt (perfluoroctaansulfonzuur) µg/kgds <0.5 <0.5 130 420 <0.5
BBO Brandweer Merelbeke 536794 13870674 22-05-2023 Romy Hofmans 16-05-2023 30-05-2023 Blad 5 van 8 Projectnaam Projectnummer Rapportnummer Orderdatum Startdatum Rapportagedatum SGS Environmental Analytics – Vestiging van SGS Nederland BV, Malledijk 18 - P.O. Box 200, NL-3200 AE Spijkenisse - Nederland. Al onze werkzaamheden worden uitgevoerd onder de algemene voorwaarden gedeponeerd bij de kamer van koophandel te Rotterdam inschrijving handelsregister 24226722.
Paraaf : 1SGS Environmental Analytics is als laboratorium erkend voor het uitvoeren van milieuanalyses op grond en grondwater in Vlaanderen, Brussel en Wallonië. NummerMonstersoortMonsterspecificatie 006Grond MM122-1 (0 - 0.1 m) MM122-1 (0 - 0.1 m) 007Grond MM130-1 (0 - 0.1 m) MM130-1 (0 - 0.1 m) 008Grond PB104-6 (1.5 - 2 m) PB104-6 (1.5 - 2 m) 009Grond PB104-4 (1 - 1.25 m PB104-4 (1 - 1.25 m) 010Grond MM132-1 (0 - 0.1 m) MM132-1 (0 - 0.1 m) Analyse EenheidQ 006 007 008 009 010 Totaal PFOS (perfluoroctaansulfonzuur) µg/kgds <0.5 0.91 160 5500 1.7 PFDS (perfluordecaansulfonzuur) µg/kgds <0.5 <0.5 <0.5 <0.5 <0.5 4:2 FTS (4:2 fluortelomeer sulfonzuur) µg/kgds <0.5 <0.5 <0.5 <0.5 <0.5 6:2 FTS (6:2 fluortelomeer sulfonzuur) µg/kgds <0.5 <0.5 13 110 <0.5 8:2 FTS (8:2 fluortelomeer sulfonzuur) µg/kgds <0.5 <0.5 <0.5 <0.5 <0.5 10:2 FTS (10:2 fluortelomeer sulfonzuur) µg/kgds <0.5 <0.5 <0.5 <0.5 <0.5 MePFOSAA (n-methyl perfluoroctaansulfonamide acetaat) µg/kgds <0.5 <0.5 <0.5 <0.5 <0.5 EtPFOSAA (n-ethyl perfluoroctaansulfonamide acetaat) µg/kgds <0.5 <0.5 <0.5 <0.5 <0.5 PFOSA lineair (perfluoroctaansulfonamide) µg/kgds <0.5 <0.5 <0.5 <0.5 <0.5 MePFOSA lineair (n-methyl perfluoroctaansulfonamide) µg/kgds <0.5 <0.5 <0.5 <0.5 <0.5 8:2 DiPAP (8:2 fluortelomeer fosfaat diester) µg/kgds <0.5 <0.5 <0.5 <0.5 <0.5 HFPO-DA (2,3,3,3tetrafluor-2(heptafluorpropoxy) propaanzuur) µg/kgds <0.5 <0.5 <0.5 <0.5 <0.5 EtPFOSA lineair (n-ethyl perfluoroctaansulfonamide) µg/kgds <0.5 <0.5 <0.5 <0.5 <0.5 MePFBSAA (n-methyl perfluorbutaansulfonamide acetaat) µg/kgds <0.5 <0.5 <0.5 <0.5 <0.5 DONA (4,8-dioxa-3Hperfluornonaanzuur) µg/kgds <0.5 <0.5 <0.5 <0.5 <0.5 MePFBSA (n-methyl perfluorbutaansulfonamide) µg/kgds <0.5 <0.5 <0.5 <0.5 <0.5 PFBSA (perfluorbutaansulfonamide) µg/kgds <0.5 <0.5 <0.5 <0.5 <0.5 PFHxSA (perfluorhexaansulfonamide) µg/kgds <0.5 <0.5 13 <500 1) <0.5 PFECHS (perfluor-4ethylcyclohexaansulfonzuur) µg/kgds <0.5 <0.5 <0.5 <0.5 <0.5 6:2 diPAP ( 6:2 fluortelomeerfosfaatdiester) µg/kgds <0.5 <0.5 <0.5 <0.5 <0.5 6:2/8:2 diPAP (6:2/8:2 fluortelomeerfosfaatdiester) µg/kgds <0.5 <0.5 <0.5 <0.5 <0.5
RSK BENELUX BVBA
Analyserapport

1 De rapportagegrens is verhoogd i.v.m. noodzakelijke verdunning.

BENELUX BVBA BBO Brandweer Merelbeke 536794 13870674 22-05-2023 Romy Hofmans 16-05-2023 30-05-2023 Blad 6 van 8 Projectnaam Projectnummer Rapportnummer Orderdatum Startdatum Rapportagedatum SGS Environmental Analytics – Vestiging van SGS Nederland BV, Malledijk 18 - P.O. Box 200, NL-3200 AE Spijkenisse - Nederland. Al onze werkzaamheden worden uitgevoerd onder de algemene voorwaarden gedeponeerd bij de kamer van koophandel te Rotterdam inschrijving handelsregister 24226722. Analyserapport
1SGS Environmental Analytics is als laboratorium erkend voor het uitvoeren van milieuanalyses op grond en grondwater in Vlaanderen, Brussel en Wallonië.
RSK
Paraaf :
Voetnoten

aard van de artefacten

PFBA (perfluorbutaanzuur) Grond

PFPeA (perfluorpentaanzuur)Grond

PFHxA (perfluorhexaanzuur)Grond Idem

PFHpA (perfluorheptaanzuur)Grond Idem

PFOA lineair (perfluoroctaanzuur)Grond Idem

PFOA vertakt (perfluoroctaanzuur) Grond Idem

Totaal PFOA (perfluoroctaanzuur)Grond Idem

PFNA (perfluornonaanzuur) Grond Idem

PFNS (perfluornonaansulfonzuur)Grond Idem

PFDA (perfluordecaanzuur) Grond

PFUnDA (perfluorundecaanzuur)Grond

PFDoDA (perfluordodecaanzuur)Grond

PFDoDS (perfluordodecaansulfonzuur)

PFTrDA (perfluortridecaanzuur)Grond

PFTeDA (perfluortetradecaanzuur)

PFHxDA (perfluorhexadecaanzuur)

PFODA (perfluoroctadecaanzuur)Grond

PFBS (perfluorbutaansulfonzuur)Grond

PFPeS (perfluorpentaansulfonzuur)

PFHxS lineair (perfluorhexaansulfonzuur)

PFHpS (perfluorheptaansulfonzuur)

PFOS lineair (perfluoroctaansulfonzuur)

PFOS vertakt (perfluoroctaansulfonzuur)

Totaal PFOS (perfluoroctaansulfonzuur)

PFDS (perfluordecaansulfonzuur)Grond

4:2 FTS (4:2 fluortelomeer sulfonzuur)

6:2 FTS (6:2 fluortelomeer sulfonzuur)

8:2 FTS (8:2 fluortelomeer sulfonzuur)

10:2 FTS (10:2 fluortelomeer sulfonzuur)

MePFOSAA (n-methyl perfluoroctaansulfonamide acetaat)

EtPFOSAA (n-ethyl perfluoroctaansulfonamide acetaat)

PFOSA lineair (perfluoroctaansulfonamide)

BBO Brandweer Merelbeke 536794 13870674 22-05-2023 Romy Hofmans 16-05-2023 30-05-2023 Blad 7 van 8 Projectnaam Projectnummer Rapportnummer Orderdatum Startdatum Rapportagedatum SGS Environmental Analytics – Vestiging van SGS Nederland BV, Malledijk 18 - P.O. Box 200, NL-3200 AE Spijkenisse - Nederland. Al onze werkzaamheden worden uitgevoerd onder de algemene voorwaarden gedeponeerd bij de kamer van koophandel te Rotterdam inschrijving handelsregister 24226722.
RSK BENELUX BVBA
Analyserapport
1SGS Environmental Analytics is als laboratorium erkend voor het uitvoeren van milieuanalyses op grond en grondwater in Vlaanderen, Brussel en Wallonië.
Relatie tot norm
Grond CMA/2/II/A.1
Grond CMA/5/A.4
Paraaf :
Analyse Monstersoort
droge stof
Conform CMA/3/D
Idem
Idem
Idem
Idem
Grond Idem
Idem
Idem
Grond
Grond Idem
Idem
Idem
Grond Idem
Grond Idem
Grond Idem
Grond Idem
Grond Idem
Grond Idem
Idem
Grond Idem
Grond Idem
Grond Idem
Grond Idem
Grond Idem
Grond Idem
Grond Idem

MePFOSA lineair (n-methyl perfluoroctaansulfonamide)

8:2 DiPAP (8:2 fluortelomeer fosfaat diester)

HFPO-DA (2,3,3,3-tetrafluor-2(heptafluorpropoxy) propaanzuur)

EtPFOSA lineair (n-ethyl perfluoroctaansulfonamide)

MePFBSAA (n-methyl perfluorbutaansulfonamide acetaat)

DONA (4,8-dioxa-3Hperfluornonaanzuur)

MePFBSA (n-methyl perfluorbutaansulfonamide)

PFBSA (perfluorbutaansulfonamide)

PFHxSA (perfluorhexaansulfonamide) Grond

PFECHS (perfluor-4ethylcyclohexaansulfonzuur) Grond

6:2 diPAP ( 6:2 fluortelomeerfosfaatdiester)

6:2/8:2 diPAP (6:2/8:2 fluortelomeerfosfaatdiester) Grond

BBO Brandweer Merelbeke 536794 13870674 22-05-2023 Romy Hofmans 16-05-2023 30-05-2023 Blad 8 van 8 Projectnaam Projectnummer Rapportnummer Orderdatum Startdatum Rapportagedatum SGS Environmental Analytics – Vestiging van SGS Nederland BV, Malledijk 18 - P.O. Box 200, NL-3200 AE Spijkenisse - Nederland. Al onze werkzaamheden worden uitgevoerd onder de algemene voorwaarden gedeponeerd bij de kamer van koophandel te Rotterdam inschrijving handelsregister 24226722.
RSK BENELUX BVBA
Analyserapport
1SGS Environmental Analytics is als laboratorium erkend voor het uitvoeren van milieuanalyses op grond en grondwater in Vlaanderen, Brussel en Wallonië.
Paraaf :
Relatie tot norm
Analyse Monstersoort
Idem
Grond
Idem
Grond
Grond Idem
Grond Idem
Grond Idem
Grond Idem
Grond Idem
Grond Idem
Idem
Idem
Idem
Grond
Idem MonsterBarcode AanleveringMonsternameVerpakking 001 E9044025 04-05-202302-05-2023ALC291 002 E9044026 04-05-202302-05-2023ALC291 003 E9044028 04-05-202302-05-2023ALC291 004 C4567880 03-05-202302-05-2023ALU253 005 E9044034 04-05-202303-05-2023ALC291 006 E9044031 04-05-202302-05-2023ALC291 007 E9044032 04-05-202303-05-2023ALC291 008 C4568058 03-05-202302-05-2023ALU253 009 C4568074 03-05-202302-05-2023ALU253 010 E9044027 04-05-202303-05-2023ALC291

RSK BENELUX BVBA

Romy Hofmans

Ontginningstraat 22

B-3530 HOUTHALEN-HELCHTEREN

Uw projectnaam : BBO Brandweer Merelbeke

Uw projectnummer : 536794

SGS rapportnummer : 13875930, versienummer: 1.

Rotterdam, 30-05-2023

Geachte heer/mevrouw,

Hierbij ontvangt u de analyse resultaten van het laboratoriumonderzoek ten behoeve van uw project 536794. Het onderzoek werd uitgevoerd conform uw opdracht. De gerapporteerde resultaten hebben uitsluitend betrekking op de door SGS geteste monsters en zoals door SGS ontvangen zijn. De door u aangegeven omschrijvingen voor de monsters, het project en de monsternamedatum (indien aangeleverd) zijn overgenomen in dit analyserapport. SGS is niet verantwoordelijk voor de gegevens verstrekt door de opdrachtgever.

Het onderzoek is uitgevoerd door SGS Environmental Analytics, gevestigd aan de Steenhouwerstraat 15 in Rotterdam (NL). Indien het onderzoek is uitgevoerd door derden is dit in het rapport aangegeven.

Dit analyserapport bestaat inclusief bijlagen uit 5 pagina's. In geval van een versienummer van '2' of hoger vervallen de voorgaande versies. Alle bijlagen maken onlosmakelijk onderdeel uit van het rapport. Alleen vermenigvuldiging van het hele rapport is toegestaan.

Voor meer informatie, omtrent bijvoorbeeld meetonzekerheid of gebruikte analysemethoden, kunt u contact opnemen met de afdeling Customer Support.

Per 1 september 2022 is SGS Environmental Analytics B.V. gefuseerd met SGS Nederland B.V. en handelt onder de naam SGS Environmental Analytics. Alle erkenningen van SGS Environmental Analytics B.V. blijven van kracht en zijn/worden omgezet naar SGS Nederland B.V.

Wij vertrouwen er op u met deze informatie van dienst te zijn.

Hoogachtend,

SGS Environmental Analytics – Vestiging van SGS Nederland BV, Malledijk 18 - P.O. Box 200, NL-3200 AE Spijkenisse - Nederland. Al onze werkzaamheden worden uitgevoerd onder de algemene voorwaarden gedeponeerd bij de kamer van koophandel te Rotterdam inschrijving handelsregister 24226722.
1 van 5 SGS Environmental Analytics is als laboratorium erkend voor het uitvoeren van milieuanalyses op grond en grondwater in Vlaanderen, Brussel en Wallonië. SGS Environmental Analytics Correspondentieadres Polderdijkweg 16 · B-2030 Antwerpen Tel.: +32 (0)3 202 04 30 · Fax: +32 (0)3 202 04 39 www.sgs.com/analytics-be
Analyserapport Blad

PER- EN POLYFLUORALKYLSTOFFEN

De met B gemerkte analyses vallen onder het B1 erkenningspakket (Bodem- Vaste deel) van het VLAREL.

BBO Brandweer Merelbeke 536794 13875930 25-05-2023 Romy Hofmans 25-05-2023 30-05-2023 Blad 2 van 5 Projectnaam Projectnummer Rapportnummer Orderdatum Startdatum Rapportagedatum SGS Environmental Analytics – Vestiging van SGS Nederland BV, Malledijk 18 - P.O. Box 200, NL-3200 AE Spijkenisse - Nederland. Al onze werkzaamheden worden uitgevoerd onder de algemene voorwaarden gedeponeerd bij de kamer van koophandel te Rotterdam inschrijving handelsregister 24226722.
Paraaf : 1SGS Environmental Analytics is als laboratorium erkend voor het uitvoeren van milieuanalyses op grond en grondwater in Vlaanderen, Brussel en Wallonië. NummerMonstersoortMonsterspecificatie 001Grond PB108-3 (0.5 - 1 m) PB108-3 (0.5 - 1 m) Analyse EenheidQ 001 droge stof gew.-%B 83.2 gewicht artefacten g B 0.000 aard van de artefacten- B geen
RSK BENELUX BVBA
Analyserapport
PFBA (perfluorbutaanzuur)µg/kgds <0.5 PFPeA (perfluorpentaanzuur)µg/kgds 0.53 PFHxA (perfluorhexaanzuur)µg/kgds <0.5 PFHpA (perfluorheptaanzuur) µg/kgds <0.5 PFOA lineair (perfluoroctaanzuur) µg/kgds <0.5 PFOA vertakt (perfluoroctaanzuur) µg/kgds <0.5 Totaal PFOA (perfluoroctaanzuur) µg/kgds <0.5 PFNA (perfluornonaanzuur)µg/kgds <0.5 PFNS (perfluornonaansulfonzuur) µg/kgds <0.5 PFDA (perfluordecaanzuur)µg/kgds <0.5 PFUnDA (perfluorundecaanzuur) µg/kgds <0.5 PFDoDA (perfluordodecaanzuur) µg/kgds <0.5 PFDoDS (perfluordodecaansulfonzuur) µg/kgds <0.5 PFTrDA (perfluortridecaanzuur) µg/kgds <0.5 PFTeDA (perfluortetradecaanzuur) µg/kgds <0.5 PFHxDA (perfluorhexadecaanzuur) µg/kgds <0.5 PFODA (perfluoroctadecaanzuur) µg/kgds <0.5 PFBS (perfluorbutaansulfonzuur) µg/kgds <0.5 PFPeS (perfluorpentaansulfonzuur) µg/kgds <0.5 PFHxS lineair (perfluorhexaansulfonzuur) µg/kgds <0.5 PFHpS (perfluorheptaansulfonzuur) µg/kgds <0.5 PFOS lineair (perfluoroctaansulfonzuur) µg/kgds 0.60 PFOS vertakt (perfluoroctaansulfonzuur) µg/kgds <0.5 Totaal PFOS (perfluoroctaansulfonzuur) µg/kgds 0.72 PFDS (perfluordecaansulfonzuur) µg/kgds <0.5

HFPO-DA (2,3,3,3tetrafluor-2(heptafluorpropoxy) propaanzuur)

EtPFOSA lineair (n-ethyl perfluoroctaansulfonamide)

MePFBSAA (n-methyl perfluorbutaansulfonamide acetaat)

DONA (4,8-dioxa-3Hperfluornonaanzuur)

MePFBSA (n-methyl perfluorbutaansulfonamide)

PFBSA (perfluorbutaansulfonamide)

PFHxSA (perfluorhexaansulfonamide)

PFECHS (perfluor-4ethylcyclohexaansulfonzuur)

6:2 diPAP ( 6:2 fluortelomeerfosfaatdiester)

6:2/8:2 diPAP (6:2/8:2 fluortelomeerfosfaatdiester)

BBO Brandweer Merelbeke 536794 13875930 25-05-2023 Romy Hofmans 25-05-2023 30-05-2023 Blad 3 van 5 Projectnaam Projectnummer Rapportnummer Orderdatum Startdatum Rapportagedatum SGS Environmental Analytics – Vestiging van SGS Nederland BV, Malledijk 18 - P.O. Box 200, NL-3200 AE Spijkenisse - Nederland. Al onze werkzaamheden worden uitgevoerd onder de algemene voorwaarden gedeponeerd bij de kamer van koophandel te Rotterdam inschrijving handelsregister 24226722.
Paraaf : 1SGS Environmental Analytics is als laboratorium erkend voor het uitvoeren van milieuanalyses op grond en grondwater in Vlaanderen, Brussel en Wallonië. NummerMonstersoortMonsterspecificatie 001Grond PB108-3 (0.5 - 1 m) PB108-3 (0.5 - 1 m) Analyse EenheidQ 001 4:2 FTS (4:2 fluortelomeer sulfonzuur) µg/kgds <0.5 6:2 FTS (6:2 fluortelomeer sulfonzuur) µg/kgds <0.5 8:2 FTS (8:2 fluortelomeer sulfonzuur) µg/kgds <0.5 10:2 FTS (10:2 fluortelomeer sulfonzuur) µg/kgds <0.5 MePFOSAA (n-methyl perfluoroctaansulfonamide acetaat) µg/kgds <0.5 EtPFOSAA (n-ethyl perfluoroctaansulfonamide acetaat) µg/kgds <0.5 PFOSA
µg/kgds <0.5
µg/kgds <0.5 8:2 DiPAP
µg/kgds <0.5
µg/kgds <0.5
RSK BENELUX BVBA
Analyserapport
lineair (perfluoroctaansulfonamide)
MePFOSA lineair (n-methyl perfluoroctaansulfonamide)
(8:2 fluortelomeer fosfaat diester)
µg/kgds <0.5
µg/kgds <0.5
µg/kgds <0.5
µg/kgds <0.5
µg/kgds <0.5
µg/kgds <0.5
µg/kgds <0.5
µg/kgds <0.5
µg/kgds <0.5

droge stof

aard van de artefacten

PFBA (perfluorbutaanzuur) Grond

PFPeA (perfluorpentaanzuur)Grond

PFHxA (perfluorhexaanzuur)Grond Idem

PFHpA (perfluorheptaanzuur)Grond Idem

PFOA lineair (perfluoroctaanzuur)Grond Idem

PFOA vertakt (perfluoroctaanzuur) Grond Idem

Totaal PFOA (perfluoroctaanzuur)Grond Idem

PFNA (perfluornonaanzuur) Grond Idem

PFNS (perfluornonaansulfonzuur)Grond Idem

PFDA (perfluordecaanzuur) Grond

PFUnDA (perfluorundecaanzuur)Grond

PFDoDA (perfluordodecaanzuur)Grond

PFDoDS (perfluordodecaansulfonzuur)

PFTrDA (perfluortridecaanzuur)Grond

PFTeDA (perfluortetradecaanzuur)

PFHxDA (perfluorhexadecaanzuur)

PFODA (perfluoroctadecaanzuur)Grond

PFBS (perfluorbutaansulfonzuur)Grond

PFPeS (perfluorpentaansulfonzuur)

PFHxS lineair (perfluorhexaansulfonzuur)

PFHpS (perfluorheptaansulfonzuur)

PFOS lineair (perfluoroctaansulfonzuur)

PFOS vertakt (perfluoroctaansulfonzuur)

Totaal PFOS (perfluoroctaansulfonzuur)

PFDS (perfluordecaansulfonzuur)Grond

4:2 FTS (4:2 fluortelomeer sulfonzuur)

6:2 FTS (6:2 fluortelomeer sulfonzuur)

8:2 FTS (8:2 fluortelomeer sulfonzuur)

10:2 FTS (10:2 fluortelomeer sulfonzuur)

MePFOSAA (n-methyl perfluoroctaansulfonamide acetaat)

EtPFOSAA (n-ethyl perfluoroctaansulfonamide acetaat)

PFOSA lineair (perfluoroctaansulfonamide)

BBO Brandweer Merelbeke 536794 13875930 25-05-2023 Romy Hofmans 25-05-2023 30-05-2023 Blad 4 van 5 Projectnaam Projectnummer Rapportnummer Orderdatum Startdatum Rapportagedatum SGS Environmental Analytics – Vestiging van SGS Nederland BV, Malledijk 18 - P.O. Box 200, NL-3200 AE Spijkenisse - Nederland. Al onze werkzaamheden worden uitgevoerd onder de algemene voorwaarden gedeponeerd bij de kamer van koophandel te Rotterdam inschrijving handelsregister 24226722.
RSK BENELUX BVBA
Analyserapport
1SGS Environmental Analytics is als laboratorium erkend voor het uitvoeren van milieuanalyses op grond en grondwater in Vlaanderen, Brussel en Wallonië.
Paraaf :
Relatie tot norm
Grond CMA/2/II/A.1
Grond CMA/5/A.4
Analyse Monstersoort
Conform CMA/3/D
Idem
Idem
Idem
Idem
Grond Idem
Idem
Idem
Grond
Grond Idem
Idem
Idem
Grond Idem
Grond Idem
Grond Idem
Grond Idem
Grond Idem
Grond Idem
Idem
Grond Idem
Grond Idem
Grond Idem
Grond Idem
Grond Idem
Grond Idem
Grond Idem

MePFOSA lineair (n-methyl perfluoroctaansulfonamide)

8:2 DiPAP (8:2 fluortelomeer fosfaat diester)

HFPO-DA (2,3,3,3-tetrafluor-2(heptafluorpropoxy) propaanzuur)

EtPFOSA lineair (n-ethyl perfluoroctaansulfonamide)

MePFBSAA (n-methyl perfluorbutaansulfonamide acetaat)

DONA (4,8-dioxa-3Hperfluornonaanzuur)

MePFBSA (n-methyl perfluorbutaansulfonamide)

PFBSA (perfluorbutaansulfonamide)

PFHxSA (perfluorhexaansulfonamide)

PFECHS (perfluor-4ethylcyclohexaansulfonzuur)

6:2 diPAP ( 6:2 fluortelomeerfosfaatdiester)

6:2/8:2 diPAP (6:2/8:2 fluortelomeerfosfaatdiester)

Paraaf :

BBO Brandweer Merelbeke 536794 13875930 25-05-2023 Romy Hofmans 25-05-2023 30-05-2023 Blad 5 van 5 Projectnaam Projectnummer Rapportnummer Orderdatum Startdatum Rapportagedatum SGS Environmental Analytics – Vestiging van SGS Nederland BV, Malledijk 18 - P.O. Box 200, NL-3200 AE Spijkenisse - Nederland. Al onze werkzaamheden worden uitgevoerd onder de algemene voorwaarden gedeponeerd bij de kamer van koophandel te Rotterdam inschrijving handelsregister 24226722.
RSK BENELUX BVBA
Analyserapport
1SGS Environmental Analytics is als laboratorium erkend voor het uitvoeren van milieuanalyses op grond en grondwater in Vlaanderen, Brussel en Wallonië.
Relatie tot norm
Analyse Monstersoort
Idem
Grond
Idem
Grond
Grond Idem
Grond Idem
Grond Idem
Grond Idem
Grond Idem
Grond Idem
Grond Idem
Grond Idem
Grond Idem
Grond Idem MonsterBarcode AanleveringMonsternameVerpakking 001 C4567887 03-05-202302-05-2023ALU253

RSK BENELUX BVBA

Romy Hofmans

Ontginningstraat 22

B-3530 HOUTHALEN-HELCHTEREN

Uw projectnaam : BBO Brandweer Merelbeke

Uw projectnummer : 536794

SGS rapportnummer : 13868326, versienummer: 1.

Rotterdam, 24-05-2023

Geachte heer/mevrouw,

Hierbij ontvangt u de analyse resultaten van het laboratoriumonderzoek ten behoeve van uw project 536794. Het onderzoek werd uitgevoerd conform uw opdracht. De gerapporteerde resultaten hebben uitsluitend betrekking op de door SGS geteste monsters en zoals door SGS ontvangen zijn. De door u aangegeven omschrijvingen voor de monsters, het project en de monsternamedatum (indien aangeleverd) zijn overgenomen in dit analyserapport. SGS is niet verantwoordelijk voor de gegevens verstrekt door de opdrachtgever.

Het onderzoek is uitgevoerd door SGS Environmental Analytics, gevestigd aan de Steenhouwerstraat 15 in Rotterdam (NL). Indien het onderzoek is uitgevoerd door derden is dit in het rapport aangegeven.

Dit analyserapport bestaat inclusief bijlagen uit 9 pagina's. In geval van een versienummer van '2' of hoger vervallen de voorgaande versies. Alle bijlagen maken onlosmakelijk onderdeel uit van het rapport. Alleen vermenigvuldiging van het hele rapport is toegestaan.

Voor meer informatie, omtrent bijvoorbeeld meetonzekerheid of gebruikte analysemethoden, kunt u contact opnemen met de afdeling Customer Support.

Per 1 september 2022 is SGS Environmental Analytics B.V. gefuseerd met SGS Nederland B.V. en handelt onder de naam SGS Environmental Analytics. Alle erkenningen van SGS Environmental Analytics B.V. blijven van kracht en zijn/worden omgezet naar SGS Nederland B.V.

Wij vertrouwen er op u met deze informatie van dienst te zijn.

Hoogachtend,

SGS Environmental Analytics – Vestiging van SGS Nederland BV, Malledijk 18 - P.O. Box 200, NL-3200 AE Spijkenisse - Nederland. Al onze werkzaamheden worden uitgevoerd onder de algemene voorwaarden gedeponeerd bij de kamer van koophandel te Rotterdam inschrijving handelsregister 24226722.
1 van 9 SGS Environmental Analytics is als laboratorium erkend voor het uitvoeren van milieuanalyses op grond en grondwater in Vlaanderen, Brussel en Wallonië. SGS Environmental Analytics Correspondentieadres Polderdijkweg 16 · B-2030 Antwerpen Tel.: +32 (0)3 202 04 30 · Fax: +32 (0)3 202 04 39 www.sgs.com/analytics-be
Analyserapport Blad
BENELUX
BBO Brandweer Merelbeke 536794 13868326 12-05-2023 Romy Hofmans 12-05-2023 24-05-2023 Blad 2 van 9 Projectnaam Projectnummer Rapportnummer Orderdatum Startdatum Rapportagedatum SGS Environmental Analytics – Vestiging van SGS Nederland BV, Malledijk 18 - P.O. Box 200, NL-3200 AE Spijkenisse - Nederland. Al onze werkzaamheden worden uitgevoerd onder de algemene voorwaarden gedeponeerd bij de kamer van koophandel te Rotterdam inschrijving handelsregister 24226722. Analyserapport Paraaf : 1SGS Environmental Analytics is als laboratorium erkend voor het uitvoeren van milieuanalyses op grond en grondwater in Vlaanderen, Brussel en Wallonië. NummerMonstersoortMonsterspecificatie 001GrondwaterPB104
002GrondwaterPB108
003GrondwaterPB101
004GrondwaterPB110
005GrondwaterPB1 PB1 Analyse EenheidQ 001 002 003 004 005 PER- EN POLYFLUORALKYLSTOFFEN PFBA (perfluorbutaanzuur)ng/lG 12000 48 1) 180 1) 2000 39 PFPeA (perfluorpentaanzuur)ng/lG 65000 170 760 12000 110 PFHxA (perfluorhexaanzuur)ng/lG 58000 110 400 8900 86 PFHpA (perfluorheptaanzuur) ng/lG 7000 53 96 1800 29 PFOA lineair (perfluoroctaanzuur) ng/lG 9100 6.9 15 66 15 Totaal PFOA (perfluoroctaanzuur) ng/lG 11000 15 29 84 22 PFNA (perfluornonaanzuur)ng/lG 160 1.1 <1 1.4 <1 PFNS (perfluornonaansulfonzuur) ng/lG 4.3 <2 <2 <2 <2 PFDA (perfluordecaanzuur)ng/lG <1 <1 <1 <1 <1 PFUnDA (perfluorundecaanzuur) ng/lG <1 <1 <1 <1 <1 PFDoDA (perfluordodecaanzuur) ng/lG <2 <2 <2 <2 <2 PFDoDS (perfluordodecaansulfonzuur) ng/l <1 <1 <1 <1 <1 PFTrDA (perfluortridecaanzuur) ng/l <1 <1 <1 <1 <1 PFTeDA (perfluortetradecaanzuur) ng/lG <1 <1 <1 <1 <1 PFHxDA (perfluorhexadecaanzuur) ng/lG <2 <2 <2 <2 <2 PFODA (perfluoroctadecaanzuur) ng/l <1 <1 <1 <1 <1 PFBS (perfluorbutaansulfonzuur) ng/lG 2700 8.7 8.6 2) 23 9.5 PFPeS (perfluorpentaansulfonzuur) ng/lG 5100 2.8 9.5 11 12 PFHxS lineair (perfluorhexaansulfonzuur) ng/lG 36000 19 190 49 140 Totaal PFHxS (perfluorhexaansulfonzuur) ng/lG 42000 24 220 60 150 PFHpS (perfluorheptaansulfonzuur) ng/lG 4000 1.2 4.0 <1 6.2 PFOS lineair (perfluoroctaansulfonzuur) ng/lG 170000 67 250 18 44 Totaal PFOS (perfluoroctaansulfonzuur) ng/lG 630000 200 750 37 100 PFDS (perfluordecaansulfonzuur) ng/lG <1 <1 <1 <1 <1 PFUnDS (perfluorundecaansulfonzuur) ng/l <2 <2 <2 <2 <2
RSK
BVBA
PB104
PB108
PB101
PB110
De met G gemerkte analyses vallen onder het G1 erkenningspakket (Grondwater) van het VLAREL.

PB104

PB108

PB101

PB110

BBO Brandweer Merelbeke 536794 13868326 12-05-2023 Romy Hofmans 12-05-2023 24-05-2023 Blad 3 van 9 Projectnaam Projectnummer Rapportnummer Orderdatum Startdatum Rapportagedatum SGS Environmental Analytics – Vestiging van SGS Nederland BV, Malledijk 18 - P.O. Box 200, NL-3200 AE Spijkenisse - Nederland. Al onze werkzaamheden worden uitgevoerd onder de algemene voorwaarden gedeponeerd bij de kamer van koophandel te Rotterdam inschrijving handelsregister 24226722.
Paraaf : 1SGS Environmental Analytics is als laboratorium erkend voor het uitvoeren van milieuanalyses op grond en grondwater in Vlaanderen, Brussel en Wallonië. NummerMonstersoortMonsterspecificatie 001GrondwaterPB104
002GrondwaterPB108
003GrondwaterPB101
004GrondwaterPB110
005GrondwaterPB1
Analyse EenheidQ 001 002 003 004 005 PFTrDS (perfluortridecaansulfonzuur) ng/l <2 <2 <2 <2 <2 4:2 FTS (4:2 fluortelomeer sulfonzuur) ng/lG 11 <1 <1 27 <1 6:2 FTS (6:2 fluortelomeer sulfonzuur) ng/lG 93000 47 110 4500 2.0 8:2 FTS (8:2 fluortelomeer sulfonzuur) ng/lG <1 <1 <1 <1 <1 10:2 FTS (10:2 fluortelomeer sulfonzuur) ng/l <1 <1 <1 <1 <1 MePFOSAA (n-methyl perfluoroctaansulfonamide acetaat) ng/lG <1 <1 <1 <1 <1 EtPFOSAA (n-ethyl perfluoroctaansulfonamide acetaat) ng/lG <1 <1 <1 <1 <1 PFOSA lineair (perfluoroctaansulfonamide) ng/lG 9.5 <2 <2 <2 <2 Totaal PFOSA (perfluoroctaansulfonamide) ng/lG 14 <2 <2 <2 <2 MePFOSA lineair (n-methyl perfluoroctaansulfonamide) ng/lG <1 <1 <1 <1 <1 Totaal MePFOSA ng/lG <1 <1 <1 <1 <1 8:2 DiPAP (8:2 fluortelomeer fosfaat diester) ng/lG <1 <1 <1 <1 <1 HFPO-DA (2,3,3,3tetrafluor-2(heptafluorpropoxy) propaanzuur) ng/lG 1.1 <1 1.8 <1 <1 EtPFOSA lineair (n-ethyl perfluoroctaansulfonamide) ng/lG <1 <1 <1 <1 <1 Totaal EtPFOSA (n-ethyl perfluoroctaansulfonamide) ng/lG <1 <1 <1 <1 <1 MePFBSAA (n-methyl perfluorbutaansulfonamide acetaat) ng/l 8.3 <2 <2 <2 <2 DONA (4,8-dioxa-3Hperfluornonaanzuur) ng/lG <1 <1 <1 <1 <1 MePFBSA (n-methyl perfluorbutaansulfonamide) ng/l 69 <1 <1 <1 <1 PFBSA (perfluorbutaansulfonamide) ng/l 5400 2.1 6.2 2.0 5.9 PFHxSA (perfluorhexaansulfonamide) ng/l 53000 25 52 1.8 <1 PFECHS (perfluor-4ethylcyclohexaansulfonzuur) ng/lG <1 <1 <1 <1 <1 6:2 diPAP ( 6:2 fluortelomeerfosfaatdiester) ng/l <2 <2 <2 <2 <2
RSK
BENELUX BVBA
Analyserapport
PB1
De met G gemerkte analyses vallen onder het G1 erkenningspakket (Grondwater) van het VLAREL.

NummerMonstersoortMonsterspecificatie

001GrondwaterPB104 PB104

002GrondwaterPB108 PB108

003GrondwaterPB101 PB101

004GrondwaterPB110 PB110

005GrondwaterPB1 PB1

BENELUX
BBO Brandweer Merelbeke 536794 13868326 12-05-2023 Romy Hofmans 12-05-2023 24-05-2023 Blad 4 van 9 Projectnaam Projectnummer Rapportnummer Orderdatum Startdatum Rapportagedatum SGS Environmental Analytics – Vestiging van SGS Nederland BV, Malledijk 18 - P.O. Box 200, NL-3200 AE Spijkenisse - Nederland. Al onze werkzaamheden worden uitgevoerd onder de algemene voorwaarden gedeponeerd bij de kamer van koophandel te Rotterdam inschrijving handelsregister 24226722. Analyserapport Paraaf : 1SGS Environmental Analytics is als laboratorium erkend voor het uitvoeren van milieuanalyses op grond en grondwater in Vlaanderen, Brussel en Wallonië.
RSK
BVBA
Analyse EenheidQ 001 002 003 004 005 6:2/8:2 diPAP (6:2/8:2 fluortelomeerfosfaatdiester) ng/l <1 <1 <1 <1 <1 PFAS som (kwantitatief)ng/l 990000 710 2600 29000 570

1 De toegevoegde interne standaard vertoont een laag rendement. Hierdoor is de betrouwbaarheid van het resultaat mogelijk beïnvloed.

2 Door matrixstoring is de onzekerheid in het resultaat vergroot.

BENELUX
BBO Brandweer Merelbeke 536794 13868326 12-05-2023 Romy Hofmans 12-05-2023 24-05-2023 Blad 5 van 9 Projectnaam Projectnummer Rapportnummer Orderdatum Startdatum Rapportagedatum SGS Environmental Analytics – Vestiging van SGS Nederland BV, Malledijk 18 - P.O. Box 200, NL-3200 AE Spijkenisse - Nederland. Al onze werkzaamheden worden uitgevoerd onder de algemene voorwaarden gedeponeerd bij de kamer van koophandel te Rotterdam inschrijving handelsregister 24226722.
Paraaf : 1SGS Environmental Analytics is als laboratorium erkend voor het uitvoeren van milieuanalyses op grond en grondwater in Vlaanderen, Brussel en Wallonië. Voetnoten
RSK
BVBA
Analyserapport
BENELUX
BBO Brandweer Merelbeke 536794 13868326 12-05-2023 Romy Hofmans 12-05-2023 24-05-2023 Blad 6 van 9 Projectnaam Projectnummer Rapportnummer Orderdatum Startdatum Rapportagedatum SGS Environmental Analytics – Vestiging van SGS Nederland BV, Malledijk 18 - P.O. Box 200, NL-3200 AE Spijkenisse - Nederland. Al onze werkzaamheden worden uitgevoerd onder de algemene voorwaarden gedeponeerd bij de kamer van koophandel te Rotterdam inschrijving handelsregister 24226722.
Paraaf : 1SGS Environmental Analytics is als laboratorium erkend voor het uitvoeren van milieuanalyses op grond en grondwater in Vlaanderen, Brussel en Wallonië. NummerMonstersoortMonsterspecificatie 006GrondwaterPB5 PB5 007GrondwaterPB113 PB113 008GrondwaterPB9 PB9 Analyse EenheidQ 006 007 008 PER- EN POLYFLUORALKYLSTOFFEN PFBA (perfluorbutaanzuur)ng/lG 38 1200 340 PFPeA (perfluorpentaanzuur)ng/lG 95 5800 1700 PFHxA (perfluorhexaanzuur)ng/lG 64 3800 1000 PFHpA (perfluorheptaanzuur) ng/lG 27 470 250 PFOA lineair (perfluoroctaanzuur) ng/lG 42 20 4.0 Totaal PFOA (perfluoroctaanzuur) ng/lG 50 24 4.7 PFNA (perfluornonaanzuur)ng/lG <1 <1 <1 PFNS (perfluornonaansulfonzuur) ng/lG <2 <2 <2 PFDA (perfluordecaanzuur)ng/lG <1 <1 <1 PFUnDA (perfluorundecaanzuur) ng/lG <1 <1 <1 PFDoDA (perfluordodecaanzuur) ng/lG <2 <2 <2 PFDoDS (perfluordodecaansulfonzuur) ng/l <1 <1 <1 PFTrDA (perfluortridecaanzuur) ng/l <1 <1 <1 PFTeDA (perfluortetradecaanzuur) ng/lG <1 <1 <1 PFHxDA (perfluorhexadecaanzuur) ng/lG <2 <2 <2 PFODA (perfluoroctadecaanzuur) ng/l <1 <1 <1 PFBS (perfluorbutaansulfonzuur) ng/lG 8.5 15 3.5 PFPeS (perfluorpentaansulfonzuur) ng/lG 14 3.7 <1 PFHxS lineair (perfluorhexaansulfonzuur) ng/lG 320 39 5.8 Totaal PFHxS (perfluorhexaansulfonzuur) ng/lG 370 45 7.0 PFHpS (perfluorheptaansulfonzuur) ng/lG 7.9 <1 <1 PFOS lineair (perfluoroctaansulfonzuur) ng/lG 150 61 2.1 Totaal PFOS (perfluoroctaansulfonzuur) ng/lG 310 140 5.5 PFDS (perfluordecaansulfonzuur) ng/lG <1 <1 <1 PFUnDS (perfluorundecaansulfonzuur) ng/l <2 <2 <2 PFTrDS (perfluortridecaansulfonzuur) ng/l <2 <2 <2
RSK
BVBA
Analyserapport
De met G gemerkte analyses vallen onder het G1 erkenningspakket (Grondwater) van het VLAREL.
BENELUX
BBO Brandweer Merelbeke 536794 13868326 12-05-2023 Romy Hofmans 12-05-2023 24-05-2023 Blad 7 van 9 Projectnaam Projectnummer Rapportnummer Orderdatum Startdatum Rapportagedatum SGS Environmental Analytics – Vestiging van SGS Nederland BV, Malledijk 18 - P.O. Box 200, NL-3200 AE Spijkenisse - Nederland. Al onze werkzaamheden worden uitgevoerd onder de algemene voorwaarden gedeponeerd bij de kamer van koophandel te Rotterdam inschrijving handelsregister 24226722. Analyserapport Paraaf : 1SGS Environmental Analytics is als laboratorium erkend voor het uitvoeren van milieuanalyses op grond en grondwater in Vlaanderen, Brussel en Wallonië. NummerMonstersoortMonsterspecificatie 006GrondwaterPB5 PB5 007GrondwaterPB113 PB113 008GrondwaterPB9 PB9 Analyse EenheidQ 006 007 008 4:2 FTS (4:2 fluortelomeer sulfonzuur) ng/lG <1 3.6 <1 6:2 FTS (6:2 fluortelomeer sulfonzuur) ng/lG 4.7 1800 95 8:2 FTS (8:2 fluortelomeer sulfonzuur) ng/lG <1 <1 <1 10:2 FTS (10:2 fluortelomeer sulfonzuur) ng/l <1 <1 <1 MePFOSAA (n-methyl perfluoroctaansulfonamide acetaat) ng/lG <1 <1 <1 EtPFOSAA (n-ethyl perfluoroctaansulfonamide acetaat) ng/lG <1 <1 <1 PFOSA lineair (perfluoroctaansulfonamide) ng/lG <2 <2 <2 Totaal PFOSA (perfluoroctaansulfonamide) ng/lG <2 <2 <2 MePFOSA lineair (n-methyl perfluoroctaansulfonamide) ng/lG <1 <1 <1 Totaal MePFOSA ng/lG <1 <1 <1 8:2 DiPAP (8:2 fluortelomeer fosfaat diester) ng/lG <1 <1 <1 HFPO-DA (2,3,3,3tetrafluor-2(heptafluorpropoxy) propaanzuur) ng/lG <1 <1 <1 EtPFOSA lineair (n-ethyl perfluoroctaansulfonamide) ng/lG <1 <1 <1 Totaal EtPFOSA (n-ethyl perfluoroctaansulfonamide) ng/lG <1 <1 <1 MePFBSAA (n-methyl perfluorbutaansulfonamide acetaat) ng/l <2 <2 <2 DONA (4,8-dioxa-3Hperfluornonaanzuur) ng/lG <1 <1 <1 MePFBSA (n-methyl perfluorbutaansulfonamide) ng/l <1 <1 <1 PFBSA (perfluorbutaansulfonamide) ng/l 11 3.5 <1 PFHxSA (perfluorhexaansulfonamide) ng/l 120 9.4 <1 PFECHS (perfluor-4ethylcyclohexaansulfonzuur) ng/lG <1 <1 <1 6:2 diPAP ( 6:2 fluortelomeerfosfaatdiester) ng/l <2 <2 <2 6:2/8:2 diPAP (6:2/8:2 fluortelomeerfosfaatdiester) ng/l <1 <1 <1 PFAS som (kwantitatief)ng/l 1100 13000 3400
RSK
BVBA
De met G gemerkte analyses vallen onder het G1 erkenningspakket (Grondwater) van het VLAREL.

Analyse Monstersoort

PFBA (perfluorbutaanzuur) Grondwater

PFPeA (perfluorpentaanzuur)Grondwater

PFHxA (perfluorhexaanzuur)Grondwater

PFHpA (perfluorheptaanzuur)Grondwater

PFOA lineair (perfluoroctaanzuur)Grondwater Idem

Totaal PFOA (perfluoroctaanzuur)Grondwater Idem

PFNA (perfluornonaanzuur) Grondwater Idem

PFNS (perfluornonaansulfonzuur)Grondwater Idem

PFDA (perfluordecaanzuur) Grondwater Idem

PFUnDA (perfluorundecaanzuur)Grondwater Idem

PFDoDA (perfluordodecaanzuur)Grondwater Idem

PFDoDS (perfluordodecaansulfonzuur)

Grondwater

PFTrDA (perfluortridecaanzuur)Grondwater

PFTeDA (perfluortetradecaanzuur)

PFHxDA (perfluorhexadecaanzuur)

Grondwater

Grondwater

PFODA (perfluoroctadecaanzuur)Grondwater

PFBS (perfluorbutaansulfonzuur)Grondwater

PFPeS (perfluorpentaansulfonzuur)

PFHxS lineair (perfluorhexaansulfonzuur)

Totaal PFHxS (perfluorhexaansulfonzuur)

PFHpS (perfluorheptaansulfonzuur)

PFOS lineair (perfluoroctaansulfonzuur)

Totaal PFOS (perfluoroctaansulfonzuur)

Grondwater Idem

Grondwater Idem

Grondwater Idem

Grondwater Idem

Grondwater Idem

Grondwater Idem

PFDS (perfluordecaansulfonzuur)Grondwater Idem

PFUnDS (perfluorundecaansulfonzuur)

PFTrDS (perfluortridecaansulfonzuur)

4:2 FTS (4:2 fluortelomeer sulfonzuur)

6:2 FTS (6:2 fluortelomeer sulfonzuur)

8:2 FTS (8:2 fluortelomeer sulfonzuur)

10:2 FTS (10:2 fluortelomeer sulfonzuur)

MePFOSAA (n-methyl perfluoroctaansulfonamide acetaat)

EtPFOSAA (n-ethyl perfluoroctaansulfonamide acetaat)

PFOSA lineair (perfluoroctaansulfonamide)

Grondwater

Grondwater

Grondwater

Grondwater

Grondwater Idem

Grondwater

Grondwater

Grondwater

Grondwater

BBO Brandweer Merelbeke 536794 13868326 12-05-2023 Romy Hofmans 12-05-2023 24-05-2023 Blad 8 van 9 Projectnaam Projectnummer Rapportnummer Orderdatum Startdatum Rapportagedatum SGS Environmental Analytics – Vestiging van SGS Nederland BV, Malledijk 18 - P.O. Box 200, NL-3200 AE Spijkenisse - Nederland. Al onze werkzaamheden worden uitgevoerd onder de algemene voorwaarden gedeponeerd bij de kamer van koophandel te Rotterdam inschrijving handelsregister 24226722.
RSK BENELUX BVBA
Analyserapport
1SGS Environmental Analytics is als laboratorium erkend voor het uitvoeren van milieuanalyses op grond en grondwater in Vlaanderen, Brussel en Wallonië.
Paraaf :
Relatie tot norm
Ontwerp
WAC/IV/A/025
Idem
Idem
Idem
Idem
Idem
Idem
Idem
Idem
Idem
Idem
Idem
Idem
Idem
Idem
Idem
Idem
Idem

Totaal PFOSA (perfluoroctaansulfonamide)

MePFOSA lineair (n-methyl perfluoroctaansulfonamide) Grondwater

Totaal MePFOSA Grondwater

8:2 DiPAP (8:2 fluortelomeer fosfaat diester)

HFPO-DA (2,3,3,3-tetrafluor-2(heptafluorpropoxy) propaanzuur)

EtPFOSA lineair (n-ethyl perfluoroctaansulfonamide)

Totaal EtPFOSA (n-ethyl perfluoroctaansulfonamide)

MePFBSAA (n-methyl perfluorbutaansulfonamide acetaat)

DONA (4,8-dioxa-3Hperfluornonaanzuur)

MePFBSA (n-methyl perfluorbutaansulfonamide)

PFBSA (perfluorbutaansulfonamide)

PFHxSA (perfluorhexaansulfonamide)

PFECHS (perfluor-4ethylcyclohexaansulfonzuur)

6:2 diPAP ( 6:2 fluortelomeerfosfaatdiester)

6:2/8:2 diPAP (6:2/8:2 fluortelomeerfosfaatdiester)

Grondwater Idem

Grondwater Idem

Grondwater Idem

Grondwater Idem

Grondwater Idem

Grondwater Idem

Grondwater

Grondwater

Grondwater

Grondwater

Grondwater Idem

Grondwater Idem

PFAS som (kwantitatief) Grondwater

BBO Brandweer Merelbeke 536794 13868326 12-05-2023 Romy Hofmans 12-05-2023 24-05-2023 Blad 9 van 9 Projectnaam Projectnummer Rapportnummer Orderdatum Startdatum Rapportagedatum SGS Environmental Analytics – Vestiging van SGS Nederland BV, Malledijk 18 - P.O. Box 200, NL-3200 AE Spijkenisse - Nederland. Al onze werkzaamheden worden uitgevoerd onder de algemene voorwaarden gedeponeerd bij de kamer van koophandel te Rotterdam inschrijving handelsregister 24226722.
1SGS Environmental Analytics is als laboratorium erkend voor het uitvoeren van milieuanalyses op grond en grondwater in Vlaanderen, Brussel en Wallonië.
Monstersoort Relatie tot norm
RSK BENELUX BVBA
Analyserapport Paraaf :
Analyse
Idem
Grondwater
Idem
Idem
Idem
Idem
Idem
Idem
MonsterBarcode AanleveringMonsternameVerpakking 001 F9079624 12-05-202311-05-2023ALC216 001 F9079592 12-05-202311-05-2023ALC216 002 F9079637 12-05-202311-05-2023ALC216 002 F9079614 12-05-202311-05-2023ALC216 003 F9079623 12-05-202311-05-2023ALC216 003 F9079604 12-05-202311-05-2023ALC216 004 F9079615 12-05-202311-05-2023ALC216 004 F9079598 12-05-202311-05-2023ALC216 005 F9079603 12-05-202311-05-2023ALC216 005 F9079608 12-05-202311-05-2023ALC216 006 F9079599 12-05-202311-05-2023ALC216 006 F9079605 12-05-202311-05-2023ALC216 007 F9079600 12-05-202311-05-2023ALC216 007 F9079626 12-05-202311-05-2023ALC216 008 F9079638 12-05-202311-05-2023ALC216 008 F9079593 12-05-202311-05-2023ALC216
Idem

FOTO’S

Fotoreportage verdachte zones

Beschrijvend bodemonderzoek: 47

Brandweer, Kloosterstraat 26-32, Merelbeke (Gent) 536794-R02(00)

foto 1: Overzicht parking oostkant kazerne foto 2: Overzicht zuidkant kazerne foto 3: Overzicht westkant perceel foto 4: Groenzone aan noordelijke ingang

OUTPUT RISICOMODEL S-RISK

Beschrijvend bodemonderzoek:

Brandweer, Kloosterstraat 26-32, Merelbeke (Gent)

536794-R02(00)

48

OUTPUT F-LEACH

Brandweer, Kloosterstraat 26-32, Merelbeke (Gent)

536794-R02(00)

Beschrijvend
49
bodemonderzoek:

VERKLARING ANALYSEMETHODE

NIET VAN TOEPASSING

Beschrijvend bodemonderzoek: 50

Brandweer, Kloosterstraat 26-32, Merelbeke (Gent)

536794-R02(00)

GRONDWATERWINNINGEN

Beschrijvend bodemonderzoek: 51

Brandweer, Kloosterstraat 26-32, Merelbeke (Gent)

536794-R02(00)

KADASTRALE GEGEVENS

Zie PVA en latere fase.

Beschrijvend bodemonderzoek:

Brandweer, Kloosterstraat 26-32, Merelbeke (Gent)

536794-R02(00)

52

KAARTEN EN SCHETSEN

OVERZICHT KAARTEN

Kaart 1: Topografische kaart

Kaart 2: Detailplan van de onderzoekslocatie met aanduiding boringen en peilbuizen

Kaart 3:Detailplannen met weergave van de onderzoeksresultaten (vaste deel van de aarde)

Kaart 4: Detailplannen met weergave van de onderzoeksresultaten (grondwater)

Kaart 5: Kaart met aanduiding van de grondwaterstromingsrichting

Kaart 6:Voorstel veldwerk Fase 2

Beschrijvend bodemonderzoek: 53

Brandweer, Kloosterstraat 26-32, Merelbeke (Gent)

536794-R02(00)

KAART 1: TOPOGRAFISCHE KAART

Beschrijvend bodemonderzoek: 54

Brandweer, Kloosterstraat 26-32, Merelbeke (Gent)

536794-R02(00)

Legende:

Opdrachtgebied:

Schaal: projectnaam 536794 stafkaart Topografische kaart 1/10.000 C:\Users\ABossuyt\OneDrive - RSK Group\536794 (O)BBO Brandweer Gent Merelbeke\06 Cad & Gis & Database\CAD\02 DWG\536794 (O)BBO Brandweer Gent Merelbeke 20230607ABO.dwg © 2021 NGI Topomapviewer.

KAART 2: DETAILPLAN VAN DE ONDERZOEKSLOCATIE MET AANDUIDING BORINGEN EN PEILBUIZEN

Beschrijvend bodemonderzoek: 55

Brandweer, Kloosterstraat 26-32, Merelbeke (Gent)

536794-R02(00)

KAART 3:DETAILPLANNEN MET WEERGAVE

VAN DE ONDERZOEKSRESULTATEN (VASTE DEEL VAN DE AARDE)

Beschrijvend bodemonderzoek: 56

Brandweer, Kloosterstraat 26-32, Merelbeke (Gent)

536794-R02(00)

KAART 4: DETAILPLANNEN MET WEERGAVE

VAN DE ONDERZOEKSRESULTATEN (GRONDWATER)

Beschrijvend bodemonderzoek: 57

Brandweer, Kloosterstraat 26-32, Merelbeke (Gent)

536794-R02(00)

KAART 5: KAART MET AANDUIDING VAN DE

GRONDWATERSTROMINGSRICHTING

Beschrijvend bodemonderzoek: 58

Brandweer, Kloosterstraat 26-32, Merelbeke (Gent)

536794-R02(00)

Projectzone

1.3Boorpunten(m-mv)

Boring

Peilbuis

Mengmonster

Grondwaterstand(mTAW)

Grondwaterstromingsrichng

LEGENDE

SCHETS VAN DWARSDOORSNEDE

Zie latere fase

Beschrijvend bodemonderzoek: 59

Brandweer, Kloosterstraat 26-32, Merelbeke (Gent)

536794-R02(00)

KAART 6:VOORSTEL VELDWERK FASE 2

Beschrijvend bodemonderzoek: 60

Brandweer, Kloosterstraat 26-32, Merelbeke (Gent)

536794-R02(00)

Projectzone

PB_OBO2018

VBO

1.3Boorpunten(m-mv)Fase1

Boring

Peilbuis

Mengmonster

1.3Boorpunten(m-mv)Fase2

Boring

Peilbuis

Mengmonster

LEGENDE

Projectzone

PB_OBO2018

VBO

1.3Boorpunten(m-mv)Fase1

Boring

Peilbuis

Mengmonster

1.3Boorpunten(m-mv)Fase2

Boring

Peilbuis

Mengmonster

LEGENDE

Projectzone

PB_OBO2018

VBO

1.3Boorpunten(m-mv)Fase1

Boring

Peilbuis

Mengmonster

1.3Boorpunten(m-mv)Fase2

Boring

Peilbuis

Mengmonster

LEGENDE

Projectzone

PB_OBO2018

VBO

1.3Boorpunten(m-mv)Fase1

Boring

Peilbuis

Mengmonster

1.3Boorpunten(m-mv)Fase2

Boring

Peilbuis

Mengmonster

LEGENDE

OVERZICHT KAART GEOLOKET OVAM

Beschrijvend bodemonderzoek: 61

Brandweer, Kloosterstraat 26-32, Merelbeke (Gent)

536794-R02(00)

OnderzoekenOVAM

OVAMbodemonderzoeken

Beschrijvendbodemonderzoek

Bodemsaneringsproject

Eindevaluatieonderzoek

Oriënterendbodemonderzoek

Sitebesluit

OVAMSchadegevallen

Evaluatierapportschadegeval

Vaststellingschadegeval

Meldingschadegeval

Meldingbodemverontreiniging

OnderzoekenOVAM

OVAMbodemonderzoeken

Beschrijvendbodemonderzoek

Bodemsaneringsproject

Eindevaluatieonderzoek

Oriënterendbodemonderzoek

Sitebesluit

OVAMSchadegevallen

Evaluatierapportschadegeval

Vaststellingschadegeval

Meldingschadegeval

Meldingbodemverontreiniging

Turn static files into dynamic content formats.

Create a flipbook
Issuu converts static files into: digital portfolios, online yearbooks, online catalogs, digital photo albums and more. Sign up and create your flipbook.