NOTÍCIA DE FATO 2

Page 1


AO MINISTÉRIO PÚBLICO DO ESTADO DO RIO GRANDE DO SUL PROMOTORIA DE JUSTIÇA DE DEFESA DO PATRIMÔNIO PÚBLICO

COMARCA DE PASSO FUNDO – RS

4 PJ ESPECIALIZADA

EXPEDIENTE MP nº 00820.005.558/2025

ASSUNTO: NOTÍCIA DE FATO e QUESTIONAMENTOS AO PODER PÚBLICO

Venho, por meio desta, apresentar NOTÍCIA DE FATO referente aos seguintes eventos e documentos:

• Fatos relevantes ao processo no evento da Construimóveis

• Análise referentes a audiência realizada no MP em 25/08/2025.

• Questões legais e técnicas fundamentais ao processo de desafetação que não foram cumpridas

• Análise e Apontamentos de GRAVES FALHAS na validade da documentação apresentada do Processo Administrativo 2024/42638, disponibilizado no dia 26/08/2025 pelo poder público.

1. DA CONSTRUIMÓVEIS

Acontecimentos importantes na Feira da Construimóveis, corroboram com a suspeita ou convicção que a proposta de desafetação das vias públicas, trata-se de uma DECISÃO POLÍTICA e NÃO UMA DECISÃO TÉCNICA OU CONSTATÁVEL.

1.1. DO “PRÉ-LANÇAMENTO”

De início não posso deixar de comentar o ESCANDALOSO “PRÉLANÇAMENTO”, na recente feira da Construimóveis de Passo Fundo, do empreendimento “Stark Smart Living”, que se pretende construir na área em questão.

Para o lançamento ou pré-lançamento de um empreendimento, conforme a lei, é exigido o registro da incorporação imobiliária , como o MP bem sabe. Não muito tempo atrás, provavelmente pela demora do Ato Registral, velocidade do mercado imobiliário e datas das feiras, passou -se a “aceitar” a PRENOTAÇÃO no Registro de Imóveis (RI) e autorização do MP. (Corrijam-me se estiver equivocado).

O caso é TÃO ABSURDO, que desconheço algo similar no mercado imobiliário e no desrespeito ao bem público, pois apresentou uma bela e detalhada maquete em estande,

JÁ INCLUINDO AS ÁREAS PÚBLICAS

DEMANDADAS NO PROCESSO DE DESAFETAÇÃO, sendo que a mensagem à Câmara de Vereadores nº 61/2025, de “projeto de lei de desafetação”, foi enviada apenas no dia 3 de setembro e a feira iniciou no dia 6 de setembro de 2025.

Subentende-se que, além da IMPOSSIBILIDADE do empreendimento posse do bem

Essa certa segurança em expor tal empreendimento decorre de um processo de desafetação VICIADO E TENDENCIOSO DESDE SEU INÍCIO e que ainda não é de conhecimento público e midiático, muito menos apresentado ao amplo debate público, o que é uma das inúmeras exigências consagradas em um processo de desafetação e alteração do plano diretor.

Na ATA DA REUNIÃO DO CMDI, realizada no dia 16/07/2025, ficou registrado que, “...ficou concluído que essas questões devem ser definidas no momento da aprovação do projeto e demais legalidades necessárias, visto que hoje ainda NÃO HÁ PROPOSTA CONCRETA para o empreendimento.” Vale lembrar que uma maquete, do porte apresentado, geralmente leva meses para ser finalizada.

Mediante o que foi exposto, solicita-se esclarecimentos:

Perguntas para ao poder público:

• Há algum processo administrativo de aprovação de projeto protocolado do empreendimento?

• O poder público ficou surpreso ou tinha conhecimento da proposta concreta apresentada na feira?

• Percebemos que várias informações essenciais e já informadas ao Poder Público foram OMITIDAS no documento da pauta do CMDI, como: área total prevista do empreendimento, usos previstos, demarcação da área correta total da Rua Almirante Barroso a ser desafeta, entre outras informações de extrema relevância a análise do pedido de desafetação. Como o poder público enxerga a supressão de dados e a necessidade de análise de estudos complexos, verídicos e transparentes que envolve um processo de desafetação de um bem público DE USO COMUM?

1.2. DA PALESTRA DO PREFEITO NA CONSTRUIMÓVEIS

Na palestra “PASSO FUNDO 2050”, realizada dia 11/09/2025 às 19h, no Espaço UPF da Construimóveis, o Prefeito Pedro Almeida apresentou dados impressionantes da cidade de Passo Fundo, que não só reforçam, mas confirmam a necessidade de MANUTENÇÃO e garantia dos bens públicos como ruas e de uso comum, INALIENÁVEIS.

Tópico: Como estamos hoje

Tópico: O que estar por vir

Tópicos: Termos de Referência e Próximos Desafios

Resumo dos temas relevantes ao caso apresentados na palestra:

Como estamos hoje:

• 1º Lugar – Cidade do interior em geração de emprego

• 1º Lugar – Em exportação no RS (agosto)

• 1º Lugar – Polo da Construção Civil interior do Estado

• 2º Lugar – Região com a maior economia do Estado

• Uma das maiores taxas de crescimento populacional do estado, com média de 1% nos últimos 12 anos e superior a 1% nos últimos 4 anos. (média do estado 0,14%)

O que está por vir:

• 28 processos de alteração de zoneamento para grandes empreendimentos, sendo 11 para Loteamentos, 12 para Condomínios Urbanísticos e 5 para Empreendimentos Industriais.

• 103 edifícios em construção

Qual é o caminho para 2050?

• Termo de referência entregue TCE/RS

o PLANO DIRETOR

o Plano de Macrodrenagem

o GEORREFERENCIAMENTO

• Próximos Desafios

o PLANO DE MOBILIDADE

o Plano de Saneamento

Os dados apresentados são muito ESCLARECEDORES e me pouparam um imenso trabalho, pois compactou muitas das questões que busco alertar, demonstrar e comprovar, mas agora com a chancela do próprio representante mor do Poder Executivo.

Não é preciso ser um especialista para compreender os imensos desafios que estão por vir, dezenas de vezes maior que os atuais.

O Prefeito deixa claro que o próximo desafio é o PLANO DE MOBILIDADE. O tema e seus desafios são citados em diversos periódicos de entidades, debates, reportagens e afins nos últimos ano, relatando os problemas do trânsito. SEM UM PLANO DE MOBILIDADE, A ESTRATÉGIA

TEM SIDO DESMONTAR O QUE JÁ ESTÁ PREVISTO, que embora ainda não implantado, a muito tempo percebe-se sua necessidade.

É ASSUSTADORA a falta de compreensão dos agentes públicos sobre as complexidades da expansão urbana em curso. Vivemos uma expansão horizontal 11 novos loteamentos, 12 condomínios e 5 empreendimentos em análise, além dos já em andamento — e uma expansão vertical 103 edifícios em construção e muitos outros em aprovação ocorrendo simultaneamente, sem Plano Diretor atualizado (sua revisão está atrasada há 9 anos).”

Quando a expansão é acelerada e concomitante nos sentidos horizontal e vertical, o acréscimo de pressão sobre o sistema urbano se multiplica, criando gargalos que a cidade não consegue absorver com a mesma velocidade.

A cada incremento no número de habitantes, a pressão sobre a infraestrutura viária e de serviços tende a não seguir um ritmo aritmético,

MAS SIM EXPONENCIAL

A decisão de desafetação soa ingênua e previsível diante da ausência de profissionais de urbanismo em cargos de secretaria e demais postos estratégicos. Para qualquer urbanista minimamente familiarizado com a cidade, trata-se de uma opção incompreensível. Além disso, o tema vem sendo conduzido como DECISÃO POLÍTICA, NÃO TÉCNICA, amparada em estudos sem validade para aprovação menos ainda para desafetação — , de escopo irreal, conclusões tendenciosas e descoladas das diretrizes do plano diretor e dos próprios dados oficiais.

Questionamentos ao poder público :

• É possível aferir neste momento, sem um plano de mobilidade, sem georreferenciamento, levantamentos e estudos aprofundados, à deriva, sem um plano diretor atualizado de expansão urbana e com os dados impressionantes de novos empreendimentos previstos, apresentados pelo próprio poder público, afirmar, com um MÍNIMO DE CERTEZA, que a desafetação de duas vias estratégicas, vai ser compensada pela implantação de outra via que também já estava prevista? É possível afirmar? Quais são os documentos que sustentem isso? Somente os estudos apresentados pelo empreendedor?

• Enquanto não há um plano de Mobilidade a ideia é destruir um já existente e não implantado?

Enquanto projetamos ‘Passo Fundo 2050’, o estudo de trânsito subdimensionado e ancorado em um estudo urbano irreal, tendencioso, nulo e omisso registrou que “intervenções para aumento de capacidade e melhorias certamente se tornarão necessárias” e que “o projeto proposto não tem capacidade suficiente para absorver toda a demanda de tráfego em um horizonte de 10 anos”. E isso sem considerar o novo escopo de +500 apartamentos do empreendimento, tampouco cerca de outras 1.000 unidades que serão lançadas ou concluídas na Petrópolis nos próximos anos e a bairro com mais de 100ha na UPF apresentado na feira.

Baseado no que foi relatado no parágrafo anterior, pergunta-se:

Questionamentos ao poder público:

• Qual é a REFERÊNCIA TEMPORAL para tomada de decisão de desafetação da Rua Paissandu e de capacidade da Rua Uruguai de atender a demanda de trânsito, mobilidade e expansão da cidade? Quatro, 10, 25, 50 anos? Não precisamos garantir outras opções intergeracionais?

• Sem um estudo de mobilidade ou técnico sobre os impactos de trânsito e capacidade da Rua Uruguai resolver problema “crônico”, como foi tomada a decisão? “Feeling”? “Intensos debates”?

2. REUNIÃO NO MP-PF

Na reunião realizada no MP de Passo Fundo, em 25/08/2025, da qual participei juntamente com os Promotores de Justiça Dr. Cristiano Ledur e Dr. Paulo Cirne e representantes da SEPLAN, SDE e PGM, tratou-se de um encontro inicial e de caráter mais informal. Embora prejudicada pelo não atendimento, em tempo hábil, do pedido de acesso integral ao Processo Administrativo para análise prévia, a reunião mostrou-se esclarecedora e reforçou as fragilidades, inconsistências e vícios que, desde a abertura, vêm se acumulando no feito com potencial de comprometer o poder decisório em detrimento do interesse coletivo.

Ressalte-se que a intenção não é apenas apontar erros, mas evidenciar a complexidade do tema. Por se tratar de matéria pouco usual na gestão pública, a DESAFETAÇÃO, em ato de boa fé, tende a superestimar benefícios imediatos para justificar “interesse público” e a subestimar impactos irreversíveis de longo prazo sobre a cidade, resultando na alienação de bem público estratégico e na criação de desafios urbanos complexos e onerosos ao erário, erro recorrente nas cidades brasileiras.

No capítulo, Demonstração do Interesse Público, do artigo, O controle da desafetação dos bens públicos1 , Alexandre Rosa Lopes 2 é extremamente esclarecedor em dois pontos fundamentais:

1 LOPES, Alexandre Rosa. O controle da desafetação dos bens públicos. Revista Parlamento e Cidadania – RPC, Brasília, v. 1, p. 129–163, 2024.

2 Consultor Legislativo da Câmara Legislativa do Distrito Federal, área de Meio Ambiente, Unidade de Desenvolvimento Urbano, Rural e Meio Ambiente (UDA/Conlegis/CLDF). Doutorado em Direito Constitucional pelo IDP. Advogado e Consultor Legislativo da CLDF. Lattes ID: http://lattes.cnpq.br/6386221085359190. ORCID: https://orcid.org/0009-0007-5152-7653.

“No caso de o Poder Executivo pretender a desafetação de bens de uso comum, esta precisa ser CONSTATÁVEL, EXISTIR DE FATO, E NÃO APENAS TER PREVISÃO JURÍDICA. É essencial, desse modo, comprovar que o bem público afetado ao uso comum, ou mesmo especial, NÃO CUMPRE MAIS SUA FINALIDADE. Retirar a natureza pública de um bem comum, como uma praça, NÃO É UM ATO TRIVIAL, mas uma decisão com REPERCUSSÕES IMEDIATAS E FUTURAS para a cidade.”

No que tange as questões que justifiquem interesse público na desafetação das ruas, os argumentos e apontamentos deste documento, demostrarão de forma TÉCNICA E OBJETIVA, as fragilidades e repercussões futuras para a cidade, comprovando que os bens públicos em questão, não só ainda cumpre a sua finalidade, como são fundamentais e potencialmente transformadores da vida urbana.

Na reunião, naturalmente surgiram questões, opiniões, comentários e contrapontos. Mas a discordância em alguns pontos conceituais fundamentais, impediram o avanço de um entendimento amplo das questões relevantes, pontos estes que agora, de posse da cópia integral do processo, busquei trazer elementos que contribuam para superação e estabelecimento de consenso mínimo sobre alguns temas.

Alguns dos comentários, questões e afirmações que surgiram na reunião realizada no MP, estão listadas abaixo, da forma ou muito próximas da forma como foram proferidas e serão tratadas no documento, junto com questionamentos sobre as mesmas:

a) “O proprietário comprou uma área e depois é surpreendido com uma rua.”;

Resposta: É possível afirmar se sombra de dúvidas, que os proprietários tinham pleno conhecimento da aquisição de duas áreas individualizadas (quadras), separadas pela rua Paissandu, que não fazia parte do edital do leilão como especificado mais adiante, no item “DO LEILÃO.”

b) “As ruas não possuem matrícula. Elas não existem de fato.”; “São ruas hipotéticas.”; “Inclusive, se o poder público quisesse implantar as ruas, teria que desapropriar e indenizar os proprietários da área.”

Perguntas ao poder público:

• Foram esses os entendimentos que a PGM adotou para classificar os bens públicos em questão?

• A procuradoria julga ter conhecimento técnico relevante sobre atos registrais?

c) “O processo passou por todas as instâncias competentes, não tem o que ser contestado.”

Pergunta ao poder público:

• Quais seriam as atitudes que os Agentes Públicos deveriam tomar ao serem confrontados com possíveis indícios de irregularidades ou nulidades, tanto de documentos técnicos apresentados ou qualquer outra questão referente a um processo administrativo?

• Como que Agentes Públicos sem conhecimento técnico na área de engenharia, arquitetura e urbanismo podem afirmar com tanta convicção que não há questões técnicas a serem questionadas?

• Não há interesse público em apurar, investigar ou reavaliar possíveis falhas, no processo de desafetação de um bem de uso comum de tamanha relevância, para que possar tomar a MELHOR decisão, em prol da população em uma questão de decisão irreversível?

• O Poder Público julga ter cumprido todos os quesitos necessários para a desafetação ou descaracterização de um bem de uso comum?

d) “Inviabilidade de implantação das vias. A situação das ruas está consolidada.

Pergunta ao poder público:

• Quais são os parâmetros de inviabilidade técnica/econômica adotados para as ruas a serem defasadas? Onde estão os estudos de viabilidade?

• Quais os parâmetros de “situação consolidada” sobre as vias públicas adotado? Cercas de arrame sobre as vias são consideradas situação consolidada?

• Os mesmos parâmetros de situação consolidada foram utilizados para a Rua Uruguai?

e) “O município não tem instrumentos para avaliação técnica dos impactos urbanos macros e se baseou nos estudos fornecidos pelo empreendedor.”

Pergunta ao poder público:

• A SEPLAN julga ter instrumentos técnicos e tecnológicos para avaliar e REFERENDAR decisão técnica de tamanha importância e irreversibilidade para a mobilidade e prejuízo ao BEM PÚBLICO DE USO COMUM?

• A Secretária tem consciência das responsabilidades na qualidade das informações técnicas demandadas para garantir uma tomada de decisão inquestionável ou minimamente assertiva em prol do bem comum?

3. DOS BENS PÚBLICOS E PRIVADOS

3.1. DO

LEILÃO

O proprietário da área tinha conhecimento da existência da rua ao adquirir os imóveis no leilão?

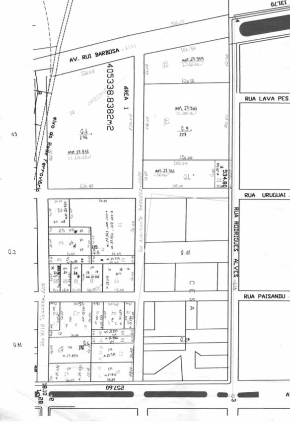
O ITEM 1.1.1.1, do edital do LEILÃO É MUITO CLARO SOBRE A EXISTÊNCIA DA RUA PAISSANDU e que a mesma NÃO INTEGRA o objeto do leilão as matrículas são agrupadas em dois blocos (ÁREA I e ÁREA “quarteirões” distintos com suas respectivas vias como confrontações, descritas de forma clara em todas as matrículas do

Vale ressaltar que totalidade das áreas dos imóveis objetos enquanto a processo administrativo de pedido de desafetação cita uma área de 31.756,74 m2.

• Conclusão: (item 3.1.)

Fica claro que o comprador dos imóveis tinha plena consciência da descontinuidade e da existência da via planejada

Justificar que a implantação ou viabilidade do empreendimento depende da anexação dos bem públicos, alegando um suposto benefício para cidade, atende apenas o INTERESSE PRIVADO, em PREJUÍZO IRREVERSÍVEL AO BEM COMUM E FUTURO DA CIDADE, como será demonstrado neste documento.

3.2. DO BEM PÚBLICO e SUA NATUREZA JÚRIDICA

A compreensão da classificação e função do bem público e a forma como o poder público percebe a cidade é, sem sombra de dúvida, a questão mais instigante, preocupante e DETERMINANTE e desse processo. Ela cruza Urbanismo, Direito, Mobilidade e boa política. No parecer da Procuradoria de Passo Fundo, os bens públicos são qualificados como HIPOTÉTICAS VIAS PÚBLICAS”, “QUE SEQUER POSSUEM MATRÍCULA” AL”, “INESCUSÁVEL INTERESSE PÚBLICO diante das hipotéticas conclusões da PGM em relação ao bem público, primordial do bem público, objeto

Questi dos bens públicos

3.2.1. Segundo a PGM (D404-409) (23/06/2025)

No parecer da PGM, as alegações soam confusas e buscam, a todo instante, desqualificar a correta classificação jurídica do bem público, criando termos inexistentes e interpretações imprecisas da legislação e dos atos registrais — seja por desconhecimento, seja na árdua tentativa de amparar a demanda do Executivo de forma, criativa e juridicamente arriscada.

Identificamos tantas inconsistências que praticamente todos os parágrafos do parecer merecem atenção específica, rebatendo ponto a ponto, iniciando pelo próprio título:

Não há como iniciarmos sem comentar sobre a criativa, inovadora, ambiciosa e inédita definição de um bem público: As “HIPOTÉTICAS

VIAS PÚBLICAS” e Ruas hipotéticas”.

3.2.2. Segundo a Legislação

Para REBATER interpretações equivocadas e até preocupantes da PGM, retomam-se conceitos fundamentais do direito urbanístico:

A) CONCEITOS BÁSICOS

• Loteamento: É a subdivisão de uma gleba em lotes destinados à edificação, criando ou alterando o sistema viário abrindo novas vias ou prolongando, modificando ou ampliando os existentes (Lei nº 6.766/1979, art. 2º, §1º).

• Lote: É o terreno servido por infraestrutura básica, tendo por elemento essencial a via de acesso, e cujas dimensões atendem aos índices urbanísticos fixados pelo Plano Diretor ou por lei municipal para a respectiva zona (Lei nº 6.766/1979, art. 2º, §4º).

• Relação Rua–Lote: Rua e lote são INDISSOCIÁVEIS: a rua viabiliza o lote e integra sua funcionalidade urbana.

A RUA é a essência da vida do LOTE, são unha e carne, possuem uma ligação umbilical, são inseparáveis. Negar, desvincular ou tratar as ruas como meras projeções ou “hipotéticas”, é negar a existência do próprio lote, do loteamento, dos bens públicos e dos atos registrais.

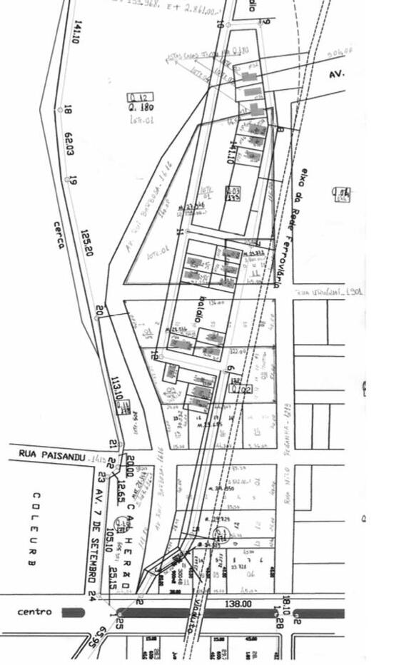
Em uma das inúmeras matrículas do loteamento, na figura abaixo, descrevem-se três lotes (número do lote e da quadra, área, bairro) com referência explícita às ruas Almirante Barroso, Uruguai, Rodrigues Alves e Paissandu, incluindo a distância às esquinas evidência documental do vínculo jurídico e físico entre os lotes e o sistema viário projetado.

Na sequência, podemos visualizar nos mapas da prefeitura, as diversas ruas, quadras e lotes do loteamento.

Mapa Quadra 180 - PMPF

Mapa Quadra 180 - PMPF

No mapa do Plano Diretor visualizamos os trechos tracejados das vias não implantadas, de loteamento aprovado e existente

Aplicando o entendimento da PGM, todas as informações constantes nos mapas e matrículas oficiais, são meramente hipotéticas.

Recorte do Parecer PGM

B) RUAS x MATRÍCULAS

Ruas possuem matrícula? A resposta é óbvia: NÃO Porque bens públicos de uso comum do povo teriam, se não estão a venda?

Para sanar justificativa equivocada da Procuradoria Municipal na desqualificação do bem público, referente a não existência de matrícula específica do logradouro público, apresentamos fundamentos jurídicos sólidos:

O motivo registral/jurídico

• Transferência automática ao Município: desde o registro do loteamento, “as vias e praças, os espaços livres e as áreas para equipamentos urbanos” integram o domínio municipal. Isso decorre do art. 22 da Lei 6.766/79.

• Natureza do bem: como bem público de uso comum, a rua é inalienável, impenhorável e IMPRESCRITÍVEL e NÃO É OBJETO TÍPICO DE NEGÓCIOS que exijam MATRÍCULA PRÓPRIA; por isso, não se abre matrícula para cada rua. A matrícula fica para os lotes privados; as áreas públicas ficam descritas no registro do loteamento e a transferência ao Município se prova pelo próprio ato de registro.

• Prática registral: o cartório registra o projeto de loteamento na matrícula da gleba e abre matrículas apenas para os lotes; as vias aparecem no registro/averbações como áreas públicas transferidas ao Município. Origem do entendimento

• Histórica: antes da Lei 6.766/79, o Decreto-Lei 271/1967 já determinava que, desde a inscrição do loteamento, vias e praças passam ao domínio público municipal. A lei de 1979 repetiu e consolidou essa regra.

• Convergência doutrinária/registral: a doutrina registral (IRIB) explica que o domínio público, enquanto expressão de soberania e AFETAÇÃO AO USO COMUM, NÃO SE SUJEITA À MATRICULAÇÃO como os imóveis privados.

• Jurisprudência do STJ: o STJ afirma que as áreas destinadas a vias, mesmo não implantadas fisicamente, integram o domínio público com o registro do loteamento e mantêm a natureza de bem de uso comum

C) RUAS NÃO IMPLANTADAS PERDEM A NATUREZA DE VIA PÚBLICA/BEM DE USO COMUM?

NÃO. Se a simples ausência de implantação retirasse a natureza pública das vias, por coerência jurídica também se invalidariam os lotes e matrículas vinculados ao loteamento — o que rasgaria a Lei de Parcelamento do Solo e os atos registrais.

Ultrapassado o plano lógico, a própria legislação, ordenamento jurídico e a jurisprudência consolidada confirmam: ruas projetadas e registradas mantêm a condição de bem de uso comum, ainda que não implantadas

• Consulta ao Registro de imóveis

Em 26/08/2025, às 9h35, contatei por telefone o Registro de Imóveis de Passo Fundo e fui atendido por responsável pelas análises de loteamentos, condomínios e temas registrais.

Pergunta: As ruas em questão existem? Perdem a classificação jurídica por não estarem implantadas? As ruas possuem matrícula?

Resposta (síntese): no ato de aprovação do loteamento, os bens públicos passam ao domínio do Município, com funções previamente definidas. Ruas não implantadas, além de não perdem a natureza de bem de uso comum, entende-se que devem ser implantadas; o Município já é seu proprietário e pode tomar posse a qualquer tempo. Não possuem matrícula justamente por se tratar de bens inalienáveis portanto, não são “hipotéticas”.

Importante destacar: Em outras conversas com diferentes agentes registrais, ficou evidente a preocupação com entendimento em sentido contrário. Em uma delas, inclusive, registrou-se o receio de que ninguém se atentasse ao caso antes da aprovação pelo Legislativo .

• Lei Federal nº 6.766/1979 – Parcelamento de Solo

Quando um loteamento é aprovado pelo Poder Público, as ruas, praças e demais logradouros projetados passam a integrar o domínio público automaticamente, mesmo que ainda não tenham sido implantados fisicamente. Esse efeito decorre do chamado ato de aprovação do loteamento (Lei Federal nº 6.766/1979, arts. 17 e 22), que transfere essas áreas ao município como bens de uso comum do povo.

• Entendimentos jurídicos consagrados

O CONTROLE MATERIAL DA DESAFETAÇÃO

“O controle material da desafetação envolve a avaliação da adequação e oportunidade da medida, sendo um juízo de mérito sobre a conveniência de dispor de um bem anteriormente destinado a uma finalidade pública específica. O controle da desafetação não pode ser meramente formal É necessário definir em que hipóteses a desafetação é legitima. A falta de controle pode resultar em um ato arbitrário que altera a natureza do bem. ”

“A reclassificação de um bem público requer uma lei autorizadora, mas isso não confere ao legislador liberdade para modificar o patrimônio sem critério A desafetação deve ocorrer quando a destinação original do bem desaparecer, o que precisa ser comprovado (Franco Jr., 2011, p. 45). “

CONTROLE MATERIAL EFETIVADO PELOS TRIBUNAIS

“Merece destaque o controle judicial efetivado sobre a desafetação de bens públicos de uso comum. Assim, ainda que um bem público, como uma praça, esteja desativado, é necessário verificar a pertinência da desafetação , em atenção à sustentabilidade da cidade e aos usos efetivos atuais e potenciais A finalidade de uso dos bens públicos não se limita à sua utilização imediata pela comunidade, devendo considerar-se uma perspectiva intergeracional.”

• Jurisprudência e Legislação

ü Lei 6.766/79, art. 22 (Planalto / Câmara dos Deputados) incorporação ao domínio público a partir do registro do loteamento. Planalto+1

ü STJ – REsp 770.098/RS (acórdão em PDF) compila e cita REsp 431.845/SP: incorporação ao domínio público de áreas de uso comum de loteamentos. Superior Tribunal de Justiça

ü STJ – AR 387/SP (revista oficial) “áreas livres de uso comum incorporamse ao domínio do Município com a simples aprovação do loteamento”. Superior Tribunal de Justiça+1

ü STJ – REsp 1.320.101/GO (acórdão em PDF) desafetação de bem de uso comum exige lei específica; DESUSO NÃO BASTA

ü (STJ - REsp: XXXXX, Relator.: Ministro MAURO CAMPBELL MARQUES, Data de Publicação: Data da Publicação DJ 28/04/2023)

• CONCLUSÃO: (item 3.2.)

As ruas perdem a sua classificação de bem público de uso comum somente por não estar implantadas? Resposta: NÃO.

Se são bens de uso comum (vias não implantadas) as mesmas estão protegidas pelo §5º do art. 55 da Lei Orgânica do Município que veda de forma clara a alienação e doação de ruas e logradouros ? Resposta: SIM.

3.2.3. Apontamentos e Contestações ao Parecer da PGM

3.2.3.1. “Vias/ruas hipotéticas”

“Ruas hipotéticas” não é categoria jurídica O parecer cria expressão inexistente no ordenamento para DESQUALIFICAR bens viários. As vias constam do projeto/memorial do loteamento e, por isso, configuram vias públicas projetadas (não implantadas), integrando o domínio municipal desde o registro.

A jurisprudência do STJ é pacífica: ausência de implantação não desnatura o bem público viário e não autoriza alienação.

No quadro é possível visualizar a insistente tentativa de rotular o bem público:

Hipotéticas vias públicas. título

Em suma, busca-se a desafetação de áreas públicas - hipotéticas vias públicas - num montante de 5.315 metros quadrados Pag. 1 II- DAS HIPOTÉTICAS VIAS PÚBLICAS DA CESA, POSSIBILIDADE DE ALIENAÇÃO

AOS LINDEIROS E PRECEDENTES

O caso das hipotéticas vias públicas da CESA - Companhia Estadual de Silos e Armazéns - é objeto do já referido processo administrativo 2024/42638,

O referido memorial previa, inicialmente a desafetação de 2.963 metros quadrados, que adentravam na área adquirida, entretanto, avançou-se pela desafetação da continuidade da Rua Almirante Barroso contígua ao imóvel, a alcançar 5.315 metros quadrados de hipotéticas vias públicas.

seja porque nunca se vislumbrou a necessidade, por parte do planejamento urbano municipal, dessas vias para o sistema viário e de trânsito do Município. Por isso são tratadas como vias hipotéticas, meras projeções

Os referidos empreendedores que adquiriram a área da CESA formalizaram pedido para a aquisição desses logradouros hipotéticos

Quanto ao interesse público, parte da hipotética Rua Paissandu está totalmente inserida na área da CESA e, quanto à hipotética Rua Almirante Barroso, parte está inserida na área da CESA e outra parte é contígua.

Assim, demonstra-se o interesse público do Município de Passo Fundo na alienação desses hipotéticos logradouros públicos, até porque o valor correspondente se dará com as obras de abertura da Rua Uruguai,

Pag. 2

Pag. 2

Pag. 2 e 3

Pag. 3

Pag. 3

Pag.3

Pag. 3 para ruas e logradouros públicos existentes e utilizados enquanto ruas e logradouros, relevantes para o sistema de mobilidade urbana e não para ruas e logradouros hipotéticos, nunca utilizados ou previstos como tais no planejamento urbano municipal.

No que tange à realização de certame licitatório é necessário considerar as particularidades que envolvem a área das hipotéticas vias públicas

Pag. 4

Pag. 5 o que assume a condição de um precedente administrativo a partir do caso concreto e da ratio decidendi. Neste caso, tratou-se, também, de hipotética via pública que nunca se efetivou enquanto via pública e sem maior importância para o sistema de mobilidade urbana,

Em resumo: a) é viável a desafetação e alienação das hipotéticas vias públicas, através de lei municipal; b) o interesse público para a desafetação e alienação deve estar presente nas manifestações da SEPLAN, a considerar a abertura da Rua Uruguai;

Quadro de recortes do Parecer PGM – Vias Hipotéticas

Pag. 5

Pag. 6

A procuradoria claramente RECORRE A RETÓRICA E OMITE A CORRETA CLASSIFICAÇÃO JURÍDICA da rua não implantada bem de uso comum e sua importância para a mobilidade, ao tratar a Rua Uruguai, em situação idêntica, de forma desigual e como solução para problema crônico da cidade. Ainda, estimula entendimento equivocado ao rotular o bem como dominical: “não obstante seja público e notório a sua condição fática de bem dominical consolidada no decorrer de várias décadas.”

Conclusão: Como já demonstrado, trata-se de via pública não implantada, BEM DE USO COMUM. Qualquer entendimento contrário é mera especulação.

3.2.3.2. Lei Orgânica Municipal

Na pág. 4 (D-407) do parecer da PGM, a procuradoria: a) Adota leitura própria da LOM; b) Evidencia desconhecimento de atos registrais; c) Nega a “relevância para o sistema de mobilidade”; d)

Questiona a “legalidade da imovibilidade dos bens públicos”; e e) invoca “interesse público inescusável”; para justificar a desafetação, sem lastro técnico e jurídico palpável.

“Eventuais questionamentos quanto à vedação da venda de ruas e logradouros públicos pelo Município somente poderiam prosperar, na sua literalidade, para ruas e logradouros públicos existentes e utilizados enquanto ruas e logradouros, relevantes para o sistema de mobilidade urbana e não para ruas e logradouros hipotéticos, nunca utilizados ou previstos como tais no planejamento urbano municipal. Poderia haver a vedação do $5° do Art. 55 da LOM se realmente se tratasse de logradouro público ou rua reconhecido pela Administração Pública pela sua importância para a mobilidade urbana ou efetivamente destinada ao uso comum dos cidadãos e veículos EM VISTA DISSO, SEQUER HOUVE O REGISTRO, EM MATRÍCULA ESPECÍFICA, DESSA ÁREA ENQUANTO LOGRADOURO PÚBLICO OU RUA. Ademais, é fortemente questionável a legalidade da imovibilidade dos bens públicos, sem possibilidade de desafetação e alienação quando presente inescusável interesse público, a ignorar a mutabilidade e flexibilidade das questões atinentes à mobilidade urbana e o Art. 100 do Código Civil Brasileiro. ” (Parecer PGM pg. 407)

a) PGM adota leitura própria da LOM (Inexistência de “reconhecimento administrativo” ou de uso efetivo como condição)

O §5º do art. 55 da LOM não distingue entre ruas implantadas e não implantadas. Criar a exigência de “existentes e utilizadas” é acréscimo hermenêutico indevido: ubi lex non distinguit, nec nos distinguere debemus Se a norma protege “ruas e logradouros públicos”, todas as vias afetadas ao uso comum estão abrangidas, inclusive as previstas/registradas que integram a malha viária planejada.

O regime jurídico nasce ex lege com o registro do loteamento; não depende de ato posterior de “reconhecimento” nem de uso fático. Logo, é INCORRETA a leitura de que a vedação da LOM só alcançaria vias “existentes e utilizadas”. Vias não implantadas continuam juridicamente logradouros públicos destinados à mobilidade, compondo a malha viária planejada.

Conclusão (a):

Uso indevido do art. 55 da LOM: inexistência de limitação a “ruas implantadas” o parecer lê o art. 55 da Lei Orgânica como aplicável apenas a vias já implantadas, mas não indica onde a LOM faz tal restrição.

O regime jurídico nasce com o registro do parcelamento e a destinação pública fixada em projeto/memorial. O Poder Público não cria o logradouro por “reconhecimento”; apenas cumpre a afetação já constituída. Reconhecimento administrativo e uso fático não são requisitos. Sem base normativa clara, não se pode afastar vias projetadas/registradas do regime protetivo.

Questionamento ao Ministério Público: É possível afirmar que?

O §5º do art. 55 incide sobre todas as ruas e logradouros públicos afetados ao uso comum, implantados ou não. A tese da PGM cria requisitos que a lei não exige, confunde técnica registral com natureza jurídica e tenta relativizar a proteção legal com base em “uso” ou “reconhecimento” inexistentes no texto normativo. Portanto, é juridicamente improcedente e deve ser afastada.

b) Desconhecimento de atos registrais

Como já exposto, a PGM revela desconhecimento sobre o regime registral dos bens de uso comum (ruas). A própria afirmação transcrita “Em vista disso, sequer houve o registro, em matrícula específica, dessa área enquanto logradouro público ou rua ” apenas confirma o óbvio: tais bens são inalienáveis, não possuem matrícula individual e estão protegidos art. 55 da LOM.

Conclusão (b):

A ausência de matrícula de logradouro é regra no sistema registral: as vias constam da matrícula-mãe do loteamento, planta e memorial. Não ter matrícula autônoma não converte bem de uso comum em bem dominical nem afasta a proteção do §5º do art. 55 da LOM, apenas

REFORÇAM sua inalienabilidade.

c) Negação da “relevância para o sistema de mobilidade”

• Destinação pública protegida e segurança jurídica do parcelamento: alterar destinação SEM PROVA DE INEVITABILIDADE TÉCNICA afronta a função social e a própria segurança jurídica do traçado aprovado.

• Contradição interna: A Uruguai também NUNCA FOI IMPLANTADA e, ainda assim, sua abertura foi tratada como “solução” com realocação. Já Paissandu e Almirante Barroso, em situação jurídica equivalente (vias projetadas e registradas), são rotuladas como “hipotéticas”. Se a Administração reconhece a natureza pública da Uruguai a ponto de reassentar, não pode negar essa mesma natureza às demais e a importância de solução de problemas crônicos futuros.

• Aquisição privada não cria direito à desafetação : A área privada teria sido adquirida recentemente (em leilão), com ciência de que a Rua Paissandu constava como diretriz pública e não integrava o objeto alienado. O adquirente não pode pleitear a extinção de ruas para acomodar seu projeto, mas sim respeitar ao patrimônio viário coletivo.

d) Questiona a “legalidade da imovibilidade dos bens públicos”

A afirmação de que é “questionável a legalidade da imovibilidade”

IGNORA a própria finalidade do ordenamento

“Ademais, é fortemente questionável a legalidade da imovibilidade dos bens públicos, sem possibilidade de desafetação e alienação quando presente inescusável interesse público, a ignorar a mutabilidade e flexibilidade das questões atinentes à mobilidade urbana e o Art. 100 do Código Civil Brasileiro.” (Parecer PGM pg. 407)

A Lei 6.766/79 (parcelamento do solo), Código Civil (arts. 98-101), Estatuto da Cidade e a Lei Orgânica de Passo Fundo (art. 55, §5º) compõem um SISTEMA DE PROTEÇÃO pensado JUSTAMENTE PARA EVITAR decisões transitórias ou orientadas por interesse privado sobre bens afetados à mobilidade A inalienabilidade não é rigidez arbitrária: é o mecanismo de estabilidade que assegura a continuidade da malha viária planejada, implantada ou não

Mesmo que, porventura, ignorássemos as limitações do art. 55, §5º, só se admite desafetação excepcionalmente, por lei específica e COM MOTIVAÇÃO TÉCNICO-URBANÍSTICA ROBUSTA que comprovadamente NÃO HÁ , demonstrando descaracterização funcional da via e BENEFÍCIO PÚBLICO PRIMÁRIO SUPERIOR algo que não se supre com invocação genérica de “mutabilidade/flexibilidade”.

Conclusão (d):

Em suma: a ideia, das diversas camadas de proteção, é precisamente impedir que ruas públicas sejam suprimidas ou alienadas enquanto necessárias ao sistema de mobilidade, atual ou futura, protegendo o interesse coletivo contra iniciativas casuísticas ou privadas

O Art.100 do CV “...são inalienáveis, enquanto conservarem a sua qualificação...” funciona como óbice à desafetação, pois é simples demonstrar que as áreas mantêm a qualificação e têm relevância estratégica para o desenvolvimento da cidade

e) Invoca “interesse público inescusável”

A invocação genérica de “interesse público” não supre estudos, compatibilidade com planos urbanísticos, nem a demonstração de benefício coletivo; a medida, tal como posta, favorece interesse privado e afronta o regime jurídico do bem.

“Inescusável interesse público” não se presume É necessário demonstrar e motivação robusta.: (i) indispensabilidade da medida ao sistema de mobilidade; (ii) comprovação técnica auditável; (iii) benefício difuso e geral, e não vantagem privada; (iv) participação social efetiva (audiências e transparência). Sem isso, a desafetação viola a função pública da via planejada e o princípio da supremacia do interesse público primário.

3.2.3.3. Precedente administrativo não vinculante

Casos anteriores (p. ex., leis específicas) são fático -específicos e não dispensam o cumprimento das exigências legais atuais nem comprovam que seguiram os preceitos legais exigidos nem autorizam a criação da categoria “rua hipotética” para burlar a proteção do uso comum. No parecer pag. (408) a procuradoria cita:

“Por derradeiro, importa consignar que esse entendimento, consoante a normatividade existente e a raio legis subjacente, já foi utilizado pela municipalidade, o que se extrai da Lei5.139/2015, que desafetou imóvel do Município de Passo Fundo e autorizou a doação com encargo à Empresa Comercial Zaffari - o que assume a condição de um precedente administrativo a partir do caso concreto e da ratio decidendi. Neste caso, tratou-se, também, de hipotética via pública que nunca se efetivou enquanto via pública e sem maior importância para o sistema de mobilidade urbana, o que permitiu a desafetação e alienação.” (Parecer PGM pg. 408)

Além do mais, excluindo as questões legais, não há como comparar a importância de uma via com a outra para as questões de mobilidade e expansão da cidade.

3.2.3.4. Síntese

“Vias/ruas hipotéticas”.

Não existe categoria jurídica de “ruas hipotéticas”. Vias constantes de projeto/memorial e registradas em loteamento são logradouros públicos afetados ao uso comum e integram o domínio municipal desde o registro (Lei 6.766/79).

A ausência de implantação não desnatura o bem público viário nem autoriza alienação; a jurisprudência do STJ é pacífica nesse sentido.

Lei Orgânica Municipal (LOM).

a) O §5º do art. 55 protege todas as vias (implantadas ou não); “reconhecimento administrativo” e “uso efetivo” não são requisitos previstos em lei.

b) A inexistência de matrícula própria é regra para bens de uso comum e não os converte em dominicais.

c) A relevância para a mobilidade decorre da afetação e do planejamento aprovado; alterar destinação exige prova técnica de inevitabilidade, sob pena de violar a segurança jurídica do parcelamento.

d) A chamada “imovibilidade” dos bens públicos é corolário da sua qualificação (CC, art. 100): desafetação só excepcionalmente, por lei específica com motivação técnico-urbanística robusta; desuso não basta (STJ).

e) A invocação genérica de “interesse público inescusável” não supre estudos e comprovação de benefício coletivo primário.

Precedente administrativo:

Leis pretéritas e casos concretos são não vinculantes e não dispensam o cumprimento das exigências legais atuais; tampouco autorizam a criação de categoria (“rua hipotética”) para afastar o regime de bem de uso comum.

Conclusão sintética:

As áreas viárias discutidas mantêm natureza de bens de uso comum, submetidas à vedação de alienação/doação (LOM, art. 55, §5º). A tese de “vias hipotéticas” e os fundamentos correlatos do parecer mostram-se juridicamente improcedentes

4. DA DESAFETAÇÃO

4.1. O Bem Público ainda cumpre a sua Função prevista?

Antes de se cogitar qualquer medida de desafetação, é imprescindível verificar, com base técnica e jurídica, se o bem público ainda cumpre a finalidade que justificou sua afetação como circulação, fruição, integração urbana ou prestação de serviços. Enquanto preservada essa destinação, prevalece sua indisponibilidade A perda de função não se presume nem decorre de mera ausência de obra ou de gestão: deve ser objetivamente demonstrada por estudos e evidências. Não atendido esse ônus probatório, a proposta deve ser desaprovada. Nos casos de vias projetadas e não implantadas, a análise deve considerar a função urbanística prospectiva (acessibilidade futura, continuidade da malha e segurança), NÃO CONFUNDINDO FALTA DE IMPLANTAÇÃO COM PERDA DE FUNÇÃO.

É CRUCIAL compreender como a Rua Paissandu e Almirante Barroso, serão riscadas do traçado do mapa urbano, se nada for feito para sua salvaguarda desprovida de critério técnico e de estudos formais, fundamentada em MERAS CONJECTURAS DE REUNIÃO, sem referências técnicas verificáveis, sem garantia de continuidade da malha urbana e sem análise da capacidade de tráfego da Rua Uruguai

Para entender como essas decisões foram tomadas, é importante acimpanhar a cronologia dos acontecimentos. A primeira referência a Rua Paissandu e sua inviabilidade foi apresenta no parecer (pag. 230-231) da Coordenadoria de Transporte e Trânsito da Seplan, para a própria Seplan no dia 27/01/2024:

“Desta forma, fica indicado a Opção 1 para a solução de conexão pela via Uruguai, visto que a Rua Paissandu não apresenta viabilidade de uma conexão contínua devido à consolidação do entorno. A proposta de conexão pela Rua Uruguai atende, tanto os impactos causados pelo aumento de fluxo e bloqueio das vias internas à área da CESA, bem como, formata uma alternativa importante ao fluxo que hoje se direciona totalmente para o ponto da Avenida Brasil embaixo do viaduto.”

(Parecer Seplan pg. 230-231)

Abaixo apresentamos a cronologia do processo administrativo até essa data:

CRONOLOGIA DO PROCESSO ADMINISTRATIVO

PÁG.

EVENTO/ANÁLISE

ABERTURA DO PROCESSO ADMINISTRATIVO

NÚMERO: 2024/42638

REQUERENTE : BRAIR EMPREENDIMENTOS IMOBILIÁRIOS

ASSUNTO: ALTERAÇÃO DE PLANO DIRETOR

SÍNTESE: DESAFETAÇÃO DE RUAS

LEVANTAMENTO E MEMORIAL TOPOGRÁFICO

Resumo:

JUNHO E JULHO 2024

D8-11

® O levantamento topográfico demonstra as projeções e áreas das ruas Paissandu, Armirante Barroso e Uruguai

CLASSIFICAÇÃO

® O levantamento também demonstra as áreas invadidas por cerca, sobre a área da Rua Almirante Barroso em forma triangular

JUNHO E JULHO 2024

Resumo:

D12-51

ESTUDO URBANO - DESAFETAÇÃO DE TRECHOS VIÁRIOS SUBDIMENSIONADO

RUA PAISSANDU E RUA ALMIRANTE BARROSO TENDENCIOSO INCOERENTE NULO

® O estudo apresenta o seguinte escopo:

® Edificação principal no estilo "atacarejo" A=7.691,00m2 + Estacionamento coberto A=4.035,00m2

® 13 espaços comerciais que variam entre A= 93m2 a 1.655m2

® Usos previstos: CS.1, CS.2, CS.3, CS.6 e CS.7 (apenas comercial)

® Afirma não ter intensão de verticalização

® Conclusões do estudo:

"Para este caso, as porções deterra das projeções das vias estão incorporadas através de barreiras físicas nas estruturas da CESA, desde sua implantação entre as décadas de 1950 e 1960, não sendo percebidas pela população em geral como participantes da malha urbana, nem mesmo como reserva técnica para futuras aberturas de vias. Desta forma, o impacto de suprimir uma área públicado funcionamento cotidiano da região, ou mesmo configura-la de outra forma, não acontece nesse local.

Além disso, manter a área como uma reserva técnica não é interessante, em vista de ser um local que possui demandas para sua utilização e que não deve continuar em condições de marasmo, como visto atéhoje. Contudo, é possível que aconteça o efeito contrário ao esperado: ao prover maiores condições ao automóvel, mais condutores optem por trafegar nestes locais, e consequentemente,aumente ademandaj áexistente.

O queseapresenta como maisviável paramelhorar níveis deserviços daquelas vias é a conjugação desoluções que resultem na distribuição dos volumes de veículos utilizando o sistema viáriojá existente.

Também concluiu que ovolume de veículos gerado pelo centro comercial não reflete em alterações significativas no funcionamento dos cruzamentos, comparando o volume que já trafega e o esperado para o empreendimento.

Foi percebido ser possívelincrementos àscapacidades de fluxo sem a abertura dos segmentos projetados, através da ativação de vias dos arredores ques e apresentam com demandas aquém des u a s possibilidades. Portanto, é visto que existem formas de promover maior capacidade para o escoamento dotrânsito sem a efetivação das vias projetadas. Inclusive, isso deve ser uma diretriz para o planejamento viário de Passo Fundo: a cidade precisa melhorar o sistema

Se identificou que as rotas que os trechos em discussão possibilitariam, já existem implantadas nos arredores, através de outras vias, de forma que suas aberturas não resultariam em benefícios relevantes para a mobilidade daquela parte da cidade.

ANÁLISE TÉCNICA:

® Realiza uma análise técnica descolada da realidade do próprio PLANO DIRETOR

® Conclusões FANTASIOSA E DISTOPIA URBANA , causando perplexidade as justificativas defendidas

® As justificativas defendidas causam perplexidade e falam por si só. Tendensiosas e nada técnicas

® ESCOPO SUBDIMENSIONADO E ESTUDO SEM NENHUMA VALIDADE PARA UM ESTUDO DE DESAFETAÇÃO

ESTUDO DE TRÁFEGO

Resumo:

® Utiliza o escopo do Estudo Urbano

® Conclusões do Estudo na versão Subdimensionada

SUBDIMENSIONADO ATIPICIDADE NULO

® Para as análises desenvolvidas, realizou-se projeções de Nível de Serviço ano de abertura (2024), horizonte de 10 anos (2034).

® Foi utilizada uma taxa de 3,0% para expansão dos dados existentes de 2019 (PNCT) à 2024 (Ano de abertura do empreendimento). ®

Demaneira geral, os resultados de Nível de Serviço demonstraram queo projeto proposto não tem capacidade suficiente para absorver toda a demanda de tráfego em um horizonte de 10 anos.

® Assim, intervenções para o aumento de capacidade e melhorias certamente se tornarão necessárias.

ANÁLISE TÉCNICA:

® ESCOPO SUBDIMENSIONADO 7x vezes menor, SEM 500 aprtamentos e uso residencial R3

® Estudo de Trafego realiazado em dia ATÍPICO:

® Nos dias 17 e 18 maio de 2024, sexta e sabado:

® Alertas de granizo, ventos fortes e grande volume de chuva, para os dias na região de Passo Fundo

® Porto Alegre ainda estava embaixo dágua e haviam ainda 70 bloqueios em estradas gaúchas

® IF Sertão e IF Passo Fundo estavam em greve

® Empresas estavam liberando funcionários para auxiliar da distribuição de doações na "Manitovock"

® Mesmo com escopo SUBDIMENSIONADO, aponta intervenções necessárias, sem especificar nenhuma

ANÁLISE TÉCNICA:

D137

D138-213

DESPACHO 01

Não localizado

Data localizada conforme nota explicativa do dia 26/09/2024

AUSÊNCIA Página D136

NOTA EXPLICATIVA

SOLICITAÇÃO DE ANEXAÇÃO DA MATRÍCULAS

ARQ. GUSTAVO TEIXEIRA BENTO

CONFORME DESPACHO 01 DE 19 DE SETEMBRO DE 2024

DESPACHO 01 NÃO LOCALIZADO

MATRÍCULAS

As Ruas Paissandu, Uruguai, Almirante Barroso e Rodrigues Alves e Av. Brasil são encontradas na descrição de ambos os quarteirões

® TODAS AS MÁTRICULAS comprovam a existência das RUAS E QUADRAS

Confirmando que não são "HIPOTÉTICAS" conforme sugerido pela PGM

CONTRUSUL

COMENTÁRIO:

® Na feira da CONSTRUSUL DE 2024 em Porto Alegre convervei por mais de hora com um dos proprietáriuos sobre o empreendimento

® Comentei e argumentei a importancia da abertura da Rua Uruguai para a cidade e para o próprio empreendimento

® O proprietário comentou que não havia até o momento nenhuma intenção de abertura da Rua Uruguai

® Dia depois conversei com o Secretário de Planejamento sobre a importancia

® No dia 16/07/2025, na entrada da reunião do CMDI, o mesmo proprietário expressou de forma enfática: ® Cara! Conseguimos a rua. Essa rua é tua! Se não fosse você me convenser naquela conversa na feira, essa rua não existia.

® Diante do comentário fica a pergunta: O poder público teria tomado a iniciativa de abrir a rua Uruguai? NO RELATÓRIO CRONOLÓGICO ABERTURA RUA URUGUAI está descrito INÍCIO DAS ATIVIDADES (Primeira visita ao local dia 25/10/2024)

7 dias depois da conversa na feira da Construsul

OF. SEPLAN n° 029/2024

Considerando a intenção de implantação de Centro Comercial onde se estimafluxo diário de 1.875 pessoas; Considerando que se estima a movimentação de 13 veículos pesados por dia; Considerando que se prevê entrada e saída de veículos pesados pela rua Rodrigues Alves e os acessos de veículos leves conforme figura 4 do estudo apresentado;

D214-215

Considerando que se trata de região onde predomina o uso residencial e A Secretaria de Planejamento entende que, para continuidade da análise, solicita-se a complementação da documentação

1. Planta topográfica da área considerando topográficos;o entorno com perfis 2. Master Plan do empreendimento considerando a posição da galeria existente no local; 3. Indicar os índices urbanísticospretendidos no local; 4. Indicar se há intenção de verticalização no local.

RESPOSTA OF. SEPLAN n° 029/2024

ANÁLISE TÉCNICA:

NOVO ESCOPO

Anexo :1 Planta topográfica da área considerando o entorno SEM NOVOS

Anexo 2: Master Plan do empreendimento ESTUDOS

Anexo 3: Quadro de áreas com Zoneamento Z0I2

® UM NOVO ESCOPO É APRESENTADO 7x maior é apresentado

® Empreendimento com mais de 100.000m2

® Alta área comercial e estacionamento

® Duas torres com aproximadamente 500 apartamentos residenciais

PLANO FUNCIONAL OPÇÃO 1 E 2

Resumo:

VALIDO APENAS

NÃO É POSSÍVEL VISUALIZAR AS PLANTAS -APRESENTAR PLANO FUNCIONAL PARA RUA URUGUAI

® É apresentado dois planos funcionais, mas apenas para a Rua URUGUAI

ANÁLISE TÉCNICA:

® A PAISSANDU nunca foi tratada como possibilidade real, já que é objeto da DESAFETAÇÃO

PARECER 02

À SEPLAN/ AC ENG. GUSTAVO HEURICH

SEGUE PARA ÁNÁLISE DA DOCUMENTAÇÃO, CONFORME ACORDADO EM REUNIÃO

RESPOSTA AO PARECER Nº 029/2024

Resumo:

® ®

® ® ®

EXTREMAMENTE NULO

Trata-se de proposta de conexão viária, em uma região historicamente sensível quanto às possibilidades de ampliação do sistema viário

Proposta de conexão viária, em uma região historicamente sensível quanto às possibilidades de ampliação do sistema viário Sendo consolidada esta proposta de conexão de interligação dos dois trechos existentes da rua Uruguai, forma-se uma alternativa muito eficiente para desafogar o gargaloformado na Avenida Brasil embaixo do viaduto da linha férrea, O mesmo problema é constatado, quando a conexão é projetada pela Rua Paissandú, pois a topografia e as condições consolidadas interferem de forma importante para que uma conexão direta se consolide por esta via.

Desta forma, fica indicado a Opção 1 para a solução de conexão pela via Uruguai, visto que a Rua Paissandú não apresenta viabilidade de uma conexão contínua devido à consolidação do entorno.

ANÁLISE TÉCNICA:

®

Em suma, após a abertura do processo foram apresentados estudos de trânsito e estudos urbanos restritos a um supermercado e algumas lojas. Posteriormente, quando o proprietário ampliou o escopo para algo na ordem de 100.000 m² (10 ha), com acréscimo de 500 apartamentos, uso residencial e comercial de grande porte, propôs-se a abertura da Rua Uruguai sem que tivesse sido produzido qualquer estudo técnico específico para o novo escopo ou demonstrando que a Uruguai, sozinha, em mão dupla, seria suficiente para resolver o problema crônico de mobilidade da região já reconhecido pelo próprio Poder Público em diversos documentos.

Não há nos autos evidência ou qualquer documento que comprove que a abertura exclusiva da Uruguai solucione sequer o quadro atual, quanto mais o cenário prospectivo e futuro da cidade, considerando:

• o efeito indutor de demanda do próprio empreendimento com o escopo real e não com estudo inicial extremamente subdimensionado;

• O efeito atrator de novos empreendimentos em função desse empreendimento;

• os demais empreendimentos previstos na região, que ultrapassam 1.200 unidades e iniciativas de escala ainda maior, como o projeto da UPF (com mais de 100 ha).

• A população atual do setor 14, pelo IBGE é de um pouco mais de 9000 habitantes. Só a ocupação dos apartamentos em construção e em lançamento, com dados desatualizados de novas aprovações, apontam um crescimento de 25% na população do bairro, se estas novas unidades forem ocupadas.

• Sem modelagem comparativa (com/sem Uruguai; com/sem Paissandu; cenários de crescimento) e análise de capacidade/nível de serviço proporcionais ao novo porte, não se comprova a eficácia da solução “Uruguai isolada”.

• Ignoram a função social das propriedades urbanas:

“O plano diretor, conforme a função social da propriedade urbana, deve seguir os instrumentos estabelecidos para o desenvolvimento e expansão ordenada da cidade. Jatoba (2008) destaca que o plano visa ao uso racional do solo, disciplinando -o segundo o interesse coletivo e promovendo o bem-estar urbano. Buscando harmonizar o crescimento da cidade com a melhoria das condições de vida, da infraestrutura e da mobilidade. “

IMPORTANTE RESALTAR que as Opções 1 e 2 de traçado apresentadas referiam-se exclusivamente a traçados da Rua Uruguai. A RUA PAISSANDU não teve seu traçado nem sua viabilidade técnica de implantação avaliados em momento algum do processo. As alegações de “inviabilidade” da Paissandu limitaram-se a meras suposições, sem qualquer documento, estudo, memória de cálculo, planta, simulação ou laudo que as comprove. Nessa ausência de diagnóstico técnico idôneo, não se sustenta a conclusão de desnecessidade ou a sua desafetação.

Relevância Urbanística:

• O planejamento de ruas projetadas garante a possibilidade de expansão do sistema viário.

• A sua supressão sem análise de interesse público pode gerar prejuízos à mobilidade, acessibilidade e ao próprio ordenamento territorial.

Conclusão:

As ruas não implantadas, além de não perderam sua função, SÃO ESTRATÉGICAS E FUNDAMENTAIS PARA A EXPANSÃO E MOBILIDADE da cidade como será comprovado no item viabilidade técnica. INCLUSIVE PARA A IMPLANTAÇÃO DE UM SISTEMA PÚBLICO DE TRANSPORTE EFICIENTE, aliviando a carga sobre a Av. Brasil

4.2. DA VIABILIDADE TÉCNICA

4.2.1. Estrutura Viária Urbana Atual

Hoje, a malha viária funciona, em seu trecho mais sensível, cerca de 3 km, praticamente como um único corredor: a Av. Brasil. Esse eixo acumula funções estratégicas (ligação ao aeroporto, conexão às perimetrais e aos acessos intermunicipais) e concentra, um sistema circulatório duplo de “vasos”, fluxo de ida e de volta. A simples implantação isolada da Rua Uruguai não resolve a dinâmica: em analogia ao sistema circulatório, seria como obrigar o sangue arterial e o venoso a compartilharem o mesmo conduto, gerando conflitos permanentes, perda de capacidade e ALTO RISCO DE COLAPSO diante de qualquer obstrução.

O que recompõe a hemodinâmica urbana é o par direcional Uruguai–

Paissandu: duas vias complementares, cada uma em sentido único, distribuindo cargas, reduzindo pontos de conflito e criando redundância operacional. Sem essa dupla, o sistema permanece sem “bypass”; um incidente na Av Brasil (acidente, manutenção, eventos climáticos) interrompe a circulação e paralisa funções vitais da cidade. Do mesmo modo que um organismo não sobrevive com artérias sem capilares, as perimetrais só cumprem seu papel se conectadas por vias internas eficientes. Em síntese: ampliar a capacidade sem garantir acessos é investir em um anel que não recebe nem entrega fluxo um sistema incompleto por desenho.

Mapa de acessos Centro - Petrópolis

4.2.2. Proposta Empreendedor/Município

Mapa autoexplicativo. DESCONTINUIDADE, ISOLAMENTO versus...

RUA ALMIRANTE BARROSO

4.2.3. Proposta pelo Plano de Arruamento Existente ...versus

4.2.4.

Viabilidade de implantação das Ruas Paissandu e

Conceito de Consolidado

A mera existência de pequenas obras, pátios de manobra de estabelecimentos comerciais ou a eventual necessidade de desapropriação de residências pontuais não configura “entorno consolidado” capaz de obstar a implantação de uma via estrutural de elevada importância para a malha urbana. Tais ocupações são, em regra, reversíveis e compatibilizáveis por meio de soluções de projeto e instrumentos urbanísticos legítimos (ex.: readequações de acesso, remanejamentos, desapropriações com justa indenização), não possuindo densidade, permanência ou função pública equivalentes àquela desempenhada por um eixo viário estratégico. Em termos de hierarquia da mobilidade e do interesse público, prevalece a continuidade e a eficiência da rede garantindo conectividade, segurança e redundância operacional sobre usos privados ou arranjos físicos precários e temporários, não podem paralisar a formação de infraestrutura essencial à cidade.

a) TRECHO A1
Desafios do Trecho A1 – Desapropriar Residência e Construção de Ponte

A desapropriação de uma pequena residência unifamiliar e a construção de uma pequena ponte, conectar a Paissandu no trecho do Rio Passo Fundo.

b) TRECHO A2, A3, B1 e B2

Trechos para implantação das vias Paissandu e Almirante Barroso

Final atual da Rua Paissandu no Rio Passo Fundo Trecho A!
junto a CESA
RUA PAISSANDU
CASA

Trecho do barranco da ferrovia – inclinação aproximada de 10%, sendo que a inclinação de rampas para PNE é de 8,33%

Conclusão:

Com a devida licença da ironia: depois desta longa jornada em defesa do bem público e coletivo, é curioso ouvir que pequenos obstáculos imporiam inviabilidade técnica. Há milênios a engenharia remove obstáculos muito mais complexos; chamar de “consolidado” o precário e de “inviável” o tecnicamente solucionável é, no mínimo, um SOFISMA.

COLEURB
R.

4.3. DO INTERESSE PÚBLICO

4.3.1. Justificativas de “Interesse Público” - SEPLAN

Começamos com a Reflexão:

“O mérito administrativo, especialmente nas decisões de conveniência e oportunidade, não pode ser usado para encobrir atos autoritários ou contrários aos princípios constitucionais. A motivação por trás da desafetação deve ser clara e estar alinhada com os princípios da política urbana, não se limitando, portanto, a critérios formais (Brasil, 2003). “

“A motivação é um fator essencial nesse controle. O Poder Executivo, ao propor leis de desafetação, deve demonstrar a compatibilidade dessas ações com o plano diretor, que é mais abrangente e articulado, superando interesses específicos e transitórios limitados a um exercício financeiro ou mandato. O plano diretor oferece uma visão de longo prazo, orientando o uso dos bens públicos de forma ordenada e estratégica. “

O parecer da SEPLAN, encaminhado à PGM, apresenta, como interesse público a desafetação de vias não implantadas bens de uso comum , os seguintes argumentos (pg.2 D-402)):

“Diante do exposto, a Secretaria de Planejamento se manifesta favoravelmente à solicitação de desafetação das áreas relativas à Rua Paissandu e Rua Almirante Barroso, conforme já descrito anteriormente, por entender que:

a) o futuro empreendimento trará benefícios para a cidade por meio do fortalecimento do setor do varejo e serviços, da geração de emprego e renda e tributos, bem como da oferta de moradia em um espaço planejado e devidamente urbanizado;

b) as Ruas Almirante Barroso e Paissandu não têm perspectiva de implementação em virtude do entorno consolidado, cuja transformação exigiria desapropriações e intervenções em áreas privadas e comerciais;

c) a perspectiva de abertura da Rua Uruguai, no trecho compreendido entre a Rua Manoel Portela e a Rua Rodrigues Alves representa amplo interesse público e resolve um problema crônico com o qual a cidade convive há muito tempo. A implementação efetiva da rua trará ganho significativo para toda a população, criando uma rota alternativa, inclusive, para veículos de grande porte que hoje circulam pela Avenida Brasil;

d) a realocação das famílias que ocupavam a área da Rua Uruguai também se reveste de interesse público, dando condições mais dignas e adequadas para as famílias envolvidas e auxiliando o Município nessa importante tarefa.”

4.3.2. REFUTAÇÃO às Justificativas de “Interesse Público”

O poder público parece desconhecer a importância do bem público em atender o interesse coletivo e não interesses privados. A seguir argumentos de refutação as justificativas dos itens apresentados em 4.4.1.

a) “Benefícios econômicos” (varejo/serviços, empregos, tributos, moradia)

• Genéricos e dissociados da medida: geração de empregos, renda, tributos e oferta habitacional decorrem do empreendimento em si, não da desafetação das vias. Falta nexo causal específico entre extinguir duas ruas e aqueles benefícios. Sem esse nexo, a motivação é insuficiente

• Obtíveis sem suprimir vias: os mesmos benefícios são viáveis com adequado projeto urbanístico que preserve a malha viária (ajustes de implantação, recuos, passagens públicas internas, diretrizes viárias, TDC/compensações urbanísticas etc.). Logo, a desafetação não é necessária (violação do teste de necessidade/proporcionalidade).

• Interesse público primário x interesse privado: benefícios econômicos genéricos são interesse público secundário; a função social do sistema viário e a inalienabilidade do bem de uso comum prevalecem. Sem prova de impossibilidade técnica de compatibilização, a desafetação configura sacrifício indevido do patrimônio público

b) “Entorno consolidado e ausência de perspectiva de implantação”

• Consolidação não é óbice jurídico: vias aprovadas em loteamento integram o domínio público com o registro, ainda que não implantadas. A mera consolidação do entorno não descaracteriza sua natureza nem autoriza sua extinção.

• Consolidação não comprovada nem impeditiva: No caso da Rua Paissandu, não há ocupações consolidadas que inviabilizem sua implantação; praticamente todo o seu trecho encontra-se livre, o que afasta a alegação de impossibilidade fática.

• Almirante Barroso sem consolidação impeditiva: A Rua Almirante Barroso não possui consolidações que impeçam sua implementação. Logo, o argumento do “entorno consolidado” carece de validade e coerência também para este eixo.

• Critério incoerente com a própria Uruguai: A Rua Uruguai, cuja abertura é defendida como solução, apresenta mais condicionantes consolidadas do que a própria Paissandu; ainda assim, foi considerada viável mediante

realocações e intervenções. Se a Administração admite tais medidas para a Uruguai, não há razão técnica para negar igual tratamento à Paissandu.

• Contradição com a própria prática administrativa: se houve realocação para viabilizar a Rua Uruguai, por que as Ruas Paissandu e Almirante Barroso são tratadas como “hipotéticas” e sem interesse de implantação? Ou a realocação é instrumento legítimo (e então pode viabilizar as três vias), ou o argumento é inconsistente

• Falta demonstração técnica: não há matriz comparativa de alternativas de traçado que mostrem a inevitabilidade da desafetação. A expressão “sem perspectiva” é juízo abstrato de conveniência, não prova técnica

• Conclusão do item: Diante da inexistência de consolidação impeditiva nas Ruas Paissandu e Almirante Barroso e considerando que a própria Uruguai possui mais condicionantes e, ainda assim, foi viabilizada o argumento do “entorno consolidado” não se sustenta e não pode fundamentar a extinção de duas diretrizes viárias públicas.

c) “Abertura da Rua Uruguai resolve problema crônico e cria rota alternativa”

• Compensação indevida: abrir uma via já prevista (Uruguai) não compensa suprimir duas também previstas. Resultado: perda líquida de conectividade e capilaridade do sistema.

• Equivalência não demonstrada: não há EIV/estudos de tráfego que mostrem que a Uruguai substitui funcionalmente os eixos Paissandu/Almirante (origem-destino, tempos de percurso, níveis de serviço, segurança viária, carga pesada, acessibilidade local). Sem isso, o “grande ganho” é alegação não comprovada

• Condição cruzada imprópria: a efetivação de uma diretriz viária (Uruguai) não deve ficar condicionada à supressão de outras diretrizes igualmente públicas. Vínculo desse tipo indica desvio de finalidade (atender à forma de IMPLANTAÇÃO PRIVADA, e não ao interesse viário coletivo).

• Implantação viável da Paissandu: Ambos os eixos são tecnicamente implantáveis; suprimir uma única quadra criaria uma descontinuidade artificial em um corredor leste-oeste hoje íntegro para implantação em toda a sua extensão.

• Binário Uruguai–Paissandu: Operar a Uruguai em conjunto com a Paissandu como par binário acrescenta funcionalidade, segurança viária e previsibilidade futura: reduz conflitos (especialmente conversões à esquerda), melhora a progressão e o fluxo contínuo, e distribui melhor a demanda ganhos que não são alcançados pela Uruguai isoladamente

• Transposição da via férrea: Não há outra alternativa complementar a Uruguai, mais viável que a Paissandu para transpor as barreiras da ferrovia com menor custo e menor impacto urbano. As demais opções exigem trajetos mais longos, conversões adicionais, maior interferência em usos consolidados e maior onerosidade para o poder público e para a mobilidade.

• Sem demonstração técnica da “solução do problema crônico”: Não há EIV/estudos de tráfego que comprovem que a Uruguai, isoladamente, resolve a saturação atual e futura, tampouco comparam alternativas (Uruguai mão dupla versus binário Uruguai–Paissandu).

• Cenários futuros ignorados: A modelagem apresentada pelo empreendedor não integra: (i) o atual escopo do empreendimento (cerca de 500 apartamentos, com maior geração de viagens e atração/produção em horários de pico (uso de escopo subdimensionado); (ii) a expansão prevista de crescimento populacional acima da média da cidade e do bairro Petrópolis (verticalização e adensamento); e (iii) as diretrizes do Plano Diretor (hierarquia viária, eixos estruturantes, metas de mobilidade, indução de centralidades e adensamento), (iv) ausência de plano mobilidade municipal, Plano Diretor desatualizado à anos e ausência de georreferenciamento da cidade.

• Conclusão: Bloquear a Paissandu/Almirante Barroso por uma única quadra, sob o pretexto de “compensação” pela abertura da Uruguai, reduz a conectividade da rede, impede o binário estruturante e elimina a melhor solução de transposição da ferrovia portanto, não atende ao interesse público. A Uruguai isolada não se demonstra substituto funcional de duas diretrizes. Sem estudos que comprovem equivalência presente e futura, a tese de “resolver o problema crônico” não se sustenta e não legitima a extinção de Paissandu e Almirante Barroso.

d) “Realocação de famílias” como interesse público

• Política autônoma: a realocação é política habitacional e de reassentamento com regras e salvaguardas próprias; não é fundamento para extinguir vias públicas em outro ponto da malha.

• Incoerência: usou-se realocação para abrir a Uruguai (neste caso rua invadida), mas invoca-se “impossibilidade” para implantar Paissandu/Almirante (“hipotéticas vias” já incorporadas ao imóvel”). O critério é assimétrico e fere a isonomia na gestão do sistema viário.

• Ausência de nexo: não se demonstra como suprimir duas ruas melhora a situação das famílias já reassentadas ou porque o reassentamento

dependeria de desafetar outras vias. Falta pertinência temática e motivação adequada.

• Finalidade social x interesse privado: Em hipóteses excepcionais, a jurisprudência admite intervenções sobre bens públicos quando vinculadas a finalidade social (p. ex., habitação de interesse social, equipamentos públicos). Não é o caso: aqui se pretende suprimir duas vias para viabilizar implantação privada. O argumento da realocação não confere finalidade social à medida.

4.3.3. Síntese 4.3.

Parâmetro jurídico. Interesse público é primário, comprovável e motivado; deve ser compatível com o Plano Diretor e com a política urbana (CF art. 182; EC/2001; Estatuto da Cidade), não bastando juízos de conveniência genéricas. Benefícios econômicos genéricos. Empregos, tributos e “revitalização” são efeitos do empreendimento, não da desafetação; sem nexo causal específico e sem superar o teste de necessidade/proporcionalidade (existência de alternativas menos gravosas), não caracterizam interesse público apto a suprimir bens de uso comum.

“Entorno consolidado” /desuso. Consolidação fática não altera a natureza jurídica das vias projetadas e registradas (Lei 6.766/79) nem autoriza alienação; o desuso não basta e exigiria prova de inevitabilidade técnica, ausente

Abertura da Rua Uruguai como “compensação”. Implantar uma diretriz não substitui duas outras; sem EIV/estudos de tráfego que demonstrem equivalência funcional, a tese é insuficiente e pode configurar desvio de finalidade.

Realocação de famílias. Política habitacional autônoma; não guarda nexo com a extinção de outras vias e não transmuda interesse privado em interesse público primário

Dever de fundamentação técnica e participação. Desafetação exige motivação técnico-urbanística robusta, estudos auditáveis (tráfego/EIV, cenários e alternativas) e publicidade/participação social; o mero apelo a “interesse público inescusável” é insuficiente.

Conclusão sintética: À luz da LOM (art. 55, §5º), da Lei 6.766/79 e do CC (art. 100), as justificativas apresentadas não comprovam interesse público primário nem a inevitabilidade da medida. Ausente motivação técnica adequada, não se legitima a desafetação de bens viários de uso comum

4.4. DO EMPREENDIMENTO

Não se nega a escala e o potencial dinamizador do empreendimento para a região; contudo, em termos de relevância urbanística, trata-se de mais um conjunto de mercado e apartamentos, cuja implantação induz novos empreendimentos no entorno, elevando a geração de viagens e, portanto, a necessidade de conectividade. Os vazios urbanos adjacentes, quando ocupados, reforçarão essa demanda, tornando ainda mais imprescindível a implantação das vias projetadas. Importa notar que o próprio projeto já se organiza em blocos distintos a torre inteiramente inserida em um quarteirão, e, em outro, pavilhões comerciais e estacionamento configuração que viabiliza soluções criativas de compatibilização com a malha pública: passarelas aéreas, conexões subterrâneas, passagens internas de uso público e até faixa elevada contínua para acalmamento de tráfego, mantendo a permeabilidade entre áreas. Há, portanto, múltiplas alternativas de desenho capazes de conciliar a viabilidade do empreendimento com a integridade e o desempenho da rede viária.

Como capital de uma região moderna e em franca expansão, a cidade precisa de um desenho viário à altura do seu dinamismo econômico. Integrar o empreendimento à malha projetada com a continuidade de Paissandu e Almirante Barroso em paralelo à avenida estrutural distribui os fluxos, libera capacidade na avenida e viabiliza um transporte público mais funcional (faixas exclusivas, pontos qualificados, maior regularidade), além de favorecer ciclomobilidade e caminhabilidade. Essa conectividade em rede sustenta não apenas a operação do próprio projeto, mas também a competitividade de todo o ecossistema empresarial local (comércio, serviços, logística e emergências), garantindo acessibilidade, previsibilidade e segurança viária. Em síntese, a implantação das vias paralelas é o instrumento que concilia escala urbana, eficiência do transporte coletivo e sustentabilidade econômica de longo prazo para o empreendimento e para a cidade.

Na imagem é possível identificar que o empreendimento naturalmente separa a parte residencial e comercial, sem prejuízo com a implantação das vias

5. PERGUNTAS AO PODER PÚBLICO

LEGALIDADE & CLASSIFICAÇÃO DO BEM PÚBLICO

• As ruas são realmente “hipotéticas”?

• Os bens públicos em questão não cumprem mais sua função prevista?

• O bem pode ser legalmente descaracterizado como bem de uso comum ou especial?

• O processo realmente seguiu todas as etapas legais e técnicas necessárias para a desafetação?

• O poder público tem conhecimento técnico e jurídico suficiente para tomar decisão tão irreversível?

• Foram avaliadas consequências jurídicas futuras da desafetação?

• A desafetação poderá criar lotes encravados ou prejudicar acesso a outras quadras/lotes?

• É juridicamente correto justificar a desafetação com base na inexistência de matrícula da rua?

• O poder público considera válido tratar vias projetadas como “bens dominiais”?

DESAFETAÇÃO

• O §5º do art. 55 da LOM impede a desafetação de ruas não implantadas?

• A inexistência de uso ou reconhecimento formal altera a natureza jurídica da via?

• Há documentos que comprovem inviabilidade técnica ou econômica de implantação das vias?

• A “consolidação do entorno” é suficiente para justificar a extinção das ruas?

• Existe alternativa mais viável de conexão viária do que a Paissandu?

• Um binário entre Paissandu e Uruguai não seria mais eficiente que uma via em mão dupla?

• A desafetação representa a destruição de um plano de mobilidade previamente existente?

INTERESSE PÚBLICO

• É constatável o interesse público na desafetação das ruas?

• O interesse público alegado está tecnicamente comprovado ou é genérico?

• A abertura da Rua Uruguai compensa a perda das ruas Paissandu e Almirante Barroso?

• A realocação de famílias na Rua Uruguai justifica a extinção das outras vias?

• Os benefícios econômicos do empreendimento existiriãso mesmo com a manutenção das vias?

• Os dados fornecidos ao CMDI e Legislativo são suficientes e confiáveis para embasar a decisão?

• Houve participação popular efetiva e informada no processo?

EMPREENDIMENTO (RELEVÂNCIA, NECESSIDADE, DEPENDÊNCIA)

• Qual é a relevância do empreendimento para a cidade?

• O empreendimento necessita de conexão entre as duas áreas adquiridas?

• O projeto não poderia ser desenvolvido respeitando as vias existentes?

• É razoável afirmar que o projeto deveria ter sido adaptado às áreas adquiridas no leilão?

• A existência das vias públicas não poderia ser um elemento positivo ao projeto?

• A desafetação é condição indispensável à implantação do empreendimento?

• O empreendimento não será implantado sem a desafetação das vias?

VIABILIDADE TÉCNICA & MOBILIDADE

• Existe Plano de Mobilidade Urbana Municipal vigente e abrangente?

• As decisões foram baseadas em estudos robustos e auditáveis?

• Os estudos apresentados têm validade técnica ou são tendenciosos?

• O poder público analisou os impactos globais da expansão urbana na malha viária?

• Os dados demográficos e de adensamento urbano foram considerados?

• A supressão da Paissandu e implantação da Uruguai resolve o problema de mobilidade?

• A decisão é compatível com o Plano Diretor e a função social da propriedade?

• Foram simulados cenários comparativos com/sem a manutenção das vias?

• Houve estudo técnico sobre transposição da ferrovia ou superação de desníveis naturais?

• Quais documentos comprovam as questões anteriores?

PARTICIPAÇÃO E CONTROLE SOCIAL

• A população conhece o conceito de “desafetação”? O tema foi amplamente divulgado?

• A consulta pública exclusivamente digital é uma forma legítima de participação popular?

• As reuniões extraordinárias do CMDI são divulgadas com antecedência mínima razoável?

• As atas do CMDI representam fielmente os debates ocorridos?

• Os representantes da sociedade civil têm legitimidade efetiva ou estão ligados a interesses setoriais?

• O CMDI é um canal real de controle social ou apenas formal?

• Vereadores possuem conhecimento técnico para avaliar o processo?

• O próprio CMDI recebeu informações incompletas para deliberar?

6. SOLICITAÇÕES FINAIS

DIANTE DO EXPOSTO, REQUER-SE a Vossa Excelência:

1. A INSTAURAÇÃO DE INQUÉRITO CIVIL (salvo acolhida do item 2) destinado a apurar a legalidade da pretendida desafetação, com especial exame:

a) da pertinência e alcance do art. 55, §5º, da Lei Orgânica Municipal (aplicabilidade a vias projetadas/não implantadas);

b) da classificação jurídica atual das áreas (bem de uso comum, especial ou dominical), à luz do registro do loteamento e dos atos administrativos;

c) da existência de interesse público primário comprovável e da observância dos princípios da legalidade, motivação, proporcionalidade e função social;

d) da integridade/validade dos documentos que instruíram o feito (pareceres, plantas, memoriais e estudos), identificando vícios formais ou materiais

E, uma vez instaurado o Inquérito Civil, que se determinem imediatamente as MEDIDAS CAUTELARES/ADMINISTRATIVAS de SUSPENSÃO, consistentes em:

(i) suspender a tramitação legislativa da Mensagem nº 61/2025 e de qualquer projeto correlato;

(ii) suspender a prática de atos administrativos de aprovação/licenciamento urbanístico vinculados à desafetação;

(iii) suspender quaisquer intervenções físicas nas áreas públicas envolvidas (cercamentos, terraplenagens, supressões ou incorporação a imóveis privados); até a conclusão de estudos técnicos independentes, participação social efetiva e decisão final.

2. Alternativamente e com o objetivo de evitar a necessidade do Inquérito Civil — que o Ministério Público recomende ao Município o imediato ENCERRAMENTO/ARQUIVAMENTO do processo administrativo de desafetação, com a anulação ou retificação dos atos já praticados, diante da ausência de comprovação do interesse público primário e/ou da existência de vícios na instrução.

3. Caso o Município não opte pelo encerramento/arquivamento (item 2), que sejam respondidas formalmente, em 10 (dez) dias úteis, as “Perguntas ao Poder Público” (conforme anexo já disponibilizado), com justificativas técnicas e documentos comprobatórios por órgão responsável; decorrido o prazo, o Ministério Público deliberará sobre a instauração do Inquérito Civil requerida no item 1.

Termos em que, Pede deferimento.

Passo Fundo/RS, 25 de setembro de 2025.

Juliano Gehlen

Engenheiro Civil, Arquiteto e Urbanista

54984074555

ANEXO CRONOLOGIA E ANÁLISE DOS DOCUMENTOS

INCOMPLETOS

PÁG.

Resumo:

JUNHO E JULHO 2024

D8-11 D1

CRONOLOGIA DO PROCESSO ADMINISTRATIVO

EVENTO/ANÁLISE

ABERTURA DO PROCESSO ADMINISTRATIVO NÚMERO: 2024/42638

REQUERENTE : BRAIR EMPREENDIMENTOS IMOBILIÁRIOS

ASSUNTO: ALTERAÇÃO DE PLANO DIRETOR

SÍNTESE: DESAFETAÇÃO DE RUAS LEVANTAMENTO E MEMORIAL TOPOGRÁFICO

® O levantamento topográfico demonstra as projeções e áreas das ruas Paissandu, Armirante Barroso e Uruguai

CLASSIFICAÇÃO

® O levantamento também demonstra as áreas invadidas por cerca, sobre a área da Rua Almirante Barroso em forma triangular

JUNHO E JULHO 2024

Resumo:

D12-51

ESTUDO URBANO - DESAFETAÇÃO DE TRECHOS VIÁRIOS SUBDIMENSIONADO

RUA PAISSANDU E RUA ALMIRANTE BARROSO TENDENCIOSO INCOERENTE NULO

® O estudo apresenta o seguinte escopo:

® Edificação principal no estilo "atacarejo" A=7.691,00m2 + Estacionamento coberto A=4.035,00m2

® 13 espaços comerciais que variam entre A= 93m2 a 1.655m2

® Usos previstos: CS.1, CS.2, CS.3, CS.6 e CS.7 (apenas comercial)

® Afirma não ter intensão de verticalização

® Conclusões do estudo:

® ® ® ® ® ® ® ®

ANÁLISE TÉCNICA:

"Para este caso, as porções deterra das projeções das vias estão incorporadas através de barreiras físicas nas estruturas da CESA, desde sua implantação entre as décadas de 1950 e 1960, não sendo percebidas pela população em geral como participantes da malha urbana, nem mesmo como reserva técnica para futuras aberturas de vias. Desta forma, o impacto de suprimir uma área públicado funcionamento cotidiano da região, ou mesmo configura-la de outra forma, não acontece nesse local.

Além disso, manter a área como uma reserva técnica não é interessante, em vista de ser um local que possui demandas para sua utilização e que não deve continuar em condições de marasmo, como visto atéhoje. Contudo, é possível que aconteça o efeito contrário ao esperado: ao prover maiores condições ao automóvel, mais condutores optem por trafegar nestes locais, e consequentemente,aumente ademandaj áexistente.

O queseapresenta como maisviável paramelhorar níveis deserviços daquelas vias é a conjugação desoluções que resultem na distribuição dos volumes de veículos utilizando o sistema viáriojá existente.

Também concluiu que ovolume de veículos gerado pelo centro comercial não reflete em alterações significativas no funcionamento dos cruzamentos, comparando o volume que já trafega e o esperado para o empreendimento.

Foi percebido ser possívelincrementos àscapacidades de fluxo sem a abertura dos segmentos projetados, através da ativação de vias dos arredores ques e apresentam com demandas aquém des u a s possibilidades. Portanto, é visto que existem formas de promover maior capacidade para o escoamento dotrânsito sem a efetivação das vias projetadas. Inclusive, isso deve ser uma diretriz para o planejamento viário de Passo Fundo: a cidade precisa melhorar o sistema

Se identificou que as rotas que os trechos em discussão possibilitariam, já existem implantadas nos arredores, através de outras vias, de forma que suas aberturas não resultariam em benefícios relevantes para a mobilidade daquela parte da cidade.

® Realiza uma análise técnica descolada da realidade do próprio PLANO DIRETOR

® Conclusões FANTASIOSA E DISTOPIA URBANA , causando perplexidade as justificativas defendidas

® As justificativas defendidas causam perplexidade e falam por si só. Tendensiosas e nada técnicas

® ESCOPO SUBDIMENSIONADO E ESTUDO SEM NENHUMA VALIDADE PARA UM ESTUDO DE DESAFETAÇÃO

ESTUDO DE TRÁFEGO

D52-135

Resumo:

® Utiliza o escopo do Estudo Urbano

® Conclusões do Estudo na versão Subdimensionada

SUBDIMENSIONADO ATIPICIDADE NULO

® Para as análises desenvolvidas, realizou-se projeções de Nível de Serviço ano de abertura (2024), horizonte de 10 anos (2034).

® Foi utilizada uma taxa de 3,0% para expansão dos dados existentes de 2019 (PNCT) à 2024 (Ano de abertura do empreendimento).

®

Demaneira geral, os resultados de Nível de Serviço demonstraram queo projeto proposto não tem capacidade suficiente para absorver toda a demanda de tráfego em um horizonte de 10 anos.

® Assim, intervenções para o aumento de capacidade e melhorias certamente se tornarão necessárias.

ANÁLISE TÉCNICA:

® ESCOPO SUBDIMENSIONADO 7x vezes menor, SEM 500 aprtamentos e uso residencial R3

® Estudo de Trafego realiazado em dia ATÍPICO:

® Nos dias 17 e 18 maio de 2024, sexta e sabado:

® Alertas de granizo, ventos fortes e grande volume de chuva, para os dias na região de Passo Fundo

® Porto Alegre ainda estava embaixo dágua e haviam ainda 70 bloqueios em estradas gaúchas

® IF Sertão e IF Passo Fundo estavam em greve

® Empresas estavam liberando funcionários para auxiliar da distribuição de doações na "Manitovock"

® Mesmo com escopo SUBDIMENSIONADO, aponta intervenções necessárias, sem especificar nenhuma

ANÁLISE TÉCNICA:

D137

D138-213

DESPACHO 01

Não localizado

Data localizada conforme nota explicativa do dia 26/09/2024

AUSÊNCIA Página D136

NOTA EXPLICATIVA

SOLICITAÇÃO DE ANEXAÇÃO DA MATRÍCULAS

ARQ. GUSTAVO TEIXEIRA BENTO

CONFORME DESPACHO 01 DE 19 DE SETEMBRO DE 2024

DESPACHO 01 NÃO LOCALIZADO

MATRÍCULAS

As Ruas Paissandu, Uruguai, Almirante Barroso e Rodrigues Alves e Av. Brasil são encontradas na descrição de ambos os quarteirões

® TODAS AS MÁTRICULAS comprovam a existência das RUAS E QUADRAS

Confirmando que não são "HIPOTÉTICAS" conforme sugerido pela PGM

CONTRUSUL

COMENTÁRIO:

® Na feira da CONSTRUSUL DE 2024 em Porto Alegre convervei por mais de hora com um dos proprietáriuos sobre o empreendimento

® Comentei e argumentei a importancia da abertura da Rua Uruguai para a cidade e para o próprio empreendimento

® O proprietário comentou que não havia até o momento nenhuma intenção de abertura da Rua Uruguai

® Dia depois conversei com o Secretário de Planejamento sobre a importancia

® No dia 16/07/2025, na entrada da reunião do CMDI, o mesmo proprietário expressou de forma enfática: ® Cara! Conseguimos a rua. Essa rua é tua! Se não fosse você me convenser naquela conversa na feira, essa rua não existia.

® Diante do comentário fica a pergunta: O poder público teria tomado a iniciativa de abrir a rua Uruguai? NO RELATÓRIO CRONOLÓGICO ABERTURA RUA URUGUAI está descrito INÍCIO DAS ATIVIDADES (Primeira visita ao local dia 25/10/2024)

7 dias depois da conversa na feira da Construsul

OF. SEPLAN n° 029/2024

Considerando a intenção de implantação de Centro Comercial onde se estimafluxo diário de 1.875 pessoas; Considerando que se estima a movimentação de 13 veículos pesados por dia; Considerando que se prevê entrada e saída de veículos pesados pela rua Rodrigues Alves e os acessos de veículos leves conforme figura 4 do estudo apresentado;

ANÁLISE TÉCNICA:

Resumo:

Considerando que se trata de região onde predomina o uso residencial e A Secretaria de Planejamento entende que, para continuidade da análise, solicita-se a complementação da documentação

1. Planta topográfica da área considerando topográficos;o entorno com perfis

2. Master Plan do empreendimento considerando a posição da galeria existente no local;

3. Indicar os índices urbanísticospretendidos no local; 4. Indicar se há intenção de verticalização no local.

RESPOSTA OF. SEPLAN n° 029/2024

NOVO ESCOPO

Anexo :1 Planta topográfica da área considerando o entorno SEM NOVOS

Anexo 2: Master Plan do empreendimento ESTUDOS

Anexo 3: Quadro de áreas com Zoneamento Z0I2

® UM NOVO ESCOPO É APRESENTADO 7x maior é apresentado

® Empreendimento com mais de 100.000m2

® Alta área comercial e estacionamento

® Duas torres com aproximadamente 500 apartamentos residenciais

PLANO FUNCIONAL OPÇÃO 1 E 2

VALIDO APENAS NÃO É POSSÍVEL VISUALIZAR AS PLANTAS -APRESENTAR PLANO FUNCIONAL PARA RUA URUGUAI

® É apresentado dois planos funcionais, mas apenas para a Rua URUGUAI

ANÁLISE TÉCNICA:

® A PAISSANDU nunca foi tratada como possibilidade real, já que é objeto da DESAFETAÇÃO

Resumo:

® ® ® ® ®

® D214-215

PARECER 02

À SEPLAN/ AC ENG. GUSTAVO HEURICH

SEGUE PARA ÁNÁLISE DA DOCUMENTAÇÃO, CONFORME ACORDADO EM REUNIÃO

RESPOSTA AO PARECER Nº 029/2024

EXTREMAMENTE NULO

Trata-se de proposta de conexão viária, em uma região historicamente sensível quanto às possibilidades de ampliação do sistema viário

Proposta de conexão viária, em uma região historicamente sensível quanto às possibilidades de ampliação do sistema viário Sendo consolidada esta proposta de conexão de interligação dos dois trechos existentes da rua Uruguai, forma-se uma alternativa muito eficiente para desafogar o gargaloformado na Avenida Brasil embaixo do viaduto da linha férrea, O mesmo problema é constatado, quando a conexão é projetada pela Rua Paissandú, pois a topografia e as condições consolidadas interferem de forma importante para que uma conexão direta se consolide por esta via. Desta forma, fica indicado a Opção 1 para a solução de conexão pela via Uruguai, visto que a Rua Paissandú não apresenta viabilidade de uma conexão contínua devido à consolidação do entorno.

ANÁLISE TÉCNICA:

SEÇÃO DE AVALIAÇÃO IMOBILIÁRIA e

e março

LAUDO DE AVALIAÇÃO IMOBILIÁRIA

Realizado por Arquiteto e Urbanista Seplan

RELATÓRIO CRONOLÓGICO ABERTURA RUA URUGUAI

TRABALHOS DESENVOLVIDOS PARA ABERTURA DO TRECHO DA RUA URUGUAI

INÍCIO DAS ATIVIDADES (NEGOCIAÇÕES 25/10/2024

documentos referente a desocupação de área publico mas fala em desapropriação? contratos de compra de imóveis realocação

RELATÓRIO DUPLICIDADE DO D242-245

DOCUMENTO DUPLICADO DO D246-270

E-MAIL Contestação de Avaliação e Manifestação de Interesse - Processo n° 2024/42638

CONTESTAÇÃO DE LAUDO DE AVALIAÇÃO - Desafetação de vias públicas

Proprietário direcionando a Seplan

Cita uma reunião reaqlizada em 24/04/2025 Analisar melhor inconsistências

Anexos contestação

Anexo I - Laudos de Avaliação de Mercado elaborados porImobiliáriasLocais; Anexo II -Certidões de Valor Venal emitidas pela Prefeitura PassoFundo; Anexo III - Carta de Arrematação Terreno; Anexo IV - Mapa de Divisão dos Lotes Objeto da Desafetação; Anexo V -Quadro Comparativo de Valores.

CARTA DE ARREMATAÇÃO analisar planta em D381

PARECER TÉCNICO DE AVALIAÇÃO MERCADOLÓGICA

DEFESA TÉCNICA À AVALIAÇÃO IMOBILIÁRIA

Resumo: Secretaria de Planejamento- SEPLAN LAUDO DE AVALIAÇÃO

PLANILHAS ORÇAMENTARIAS Implantação Rua Uruguai

NÃO AVALIADO

NÃO AVALIADO

AVALIADO

PARECER SEPLAN para PGM

Resumo:

® Utiliza o escopo do Estudo Urbano

® Conclusões do Estudo na versão Subdimensionada

® Para as análises desenvolvidas, realizou-se projeções de Nível de Serviço ano de abertura (2024), horizonte de 10 anos (2034).

ANÁLISE TÉCNICA:

® ESCOPO SUBDIMENSIONADO 7x vezes menor, SEM 500 aprtamentos e uso residencial R3

® Estudo de Trafego realiazado em dia ATÍPICO:

® Nos dias 17 e 18 maio de 2024, sexta e sabado:

PARECER PGM Ruas Hipotéticas

REGISTRO ATA MOBILIDADE URBANA

PAUTA DA REUNIÃO ENVIADA AO CMDI - Referente ao Processo do Desafetação Pauta liberada apenas no dia 14?

REUNIÃO EXTRAORDINÁRIA CMDI

ATA DA SESSÃO Nº 279

EDITAL N.° 153/2025 - CONSULTA PÚBLICA

MENSAGEM SOLICITANDO

SOLICITAÇÃO DE MEMORIAL DESCRITIVO RUAS SEPLAN para PGM

DESPACHO

SOLICITAÇÃO DE MEMORIAL DESCRITIVO RUAS PARA PROJETO DE LEI Pgm à Seplan outro setor RESPOSTAS A CONSULTA PÚBLICA

LEVANTAMENTO TOPOGRÁFICO PARA PROJETO DE LEI

Turn static files into dynamic content formats.

Create a flipbook
Issuu converts static files into: digital portfolios, online yearbooks, online catalogs, digital photo albums and more. Sign up and create your flipbook.