10-Year Capital Plan 2025-2034

Page 1


SCADA System Backbone and Upgrades C2025‐66

OF WEST KELOWNA

1.PROJECT

4.CAPITAL

5.DESCRIPTION Desired Manufacturer/Model (attach additional pages/brochure if necessary)

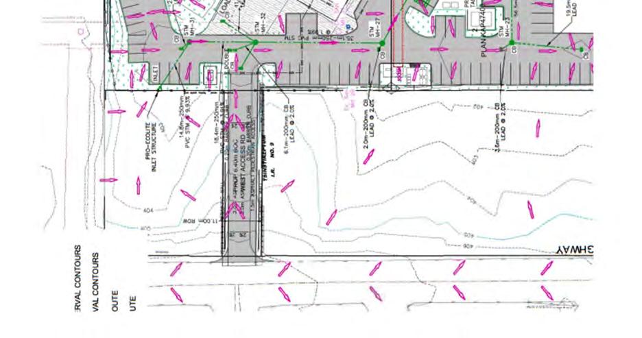
The Pavement Management Plan was completed in 2023. It is a condition survey of the road network with recommendations for short-term and long-term improvement plans. The plan recommends a 10-year paving plan with a $2.5 million yearly budget for the paved road network. 2025 will be the first year with the increased construction value and will focus on arterial roads that are not scheduled for major improvements in the short term. Those roads include Shannon Lake Road, Old Okanagan Highway, and Boucherie Road. There will also be a rural component to improve gravel roads that need repair.

6.CAPITAL

RFP# 2024-01-P100

2024 Road Rehabilitation Design Update & Construction Services

PROJECT LOCATION PLANS (CONTINUED) APPENDIXA

Douglas Road – Boucherie Road toThacker Drive (Length = 738m)

RFP# 2024-01-P100

2024 Road Rehabilitation Design Update & Construction Services

PROJECT LOCATION PLANS (CONTINUED) APPENDIXA

Dougmac Road – Rose Valley Road to Culdesac (Length = 508m)

RFP# 2024-01-P100

2024 Road Rehabilitation Design Update & Construction Services

PROJECT LOCATION PLANS (CONTINUED) APPENDIX

Emerald Road –Turnbull Road to Culdesac (Length = 990m)

RFP# 2024-01-P100

2024 Road Rehabilitation Design Update & Construction Services

PROJECT LOCATION PLANS (CONTINUED) APPENDIXA

Glenrosa Road –Turnbull Road toGates Road (Length = 903m)

RFP# 2024-01-P100

2024 Road Rehabilitation Design Update & Construction Services

PROJECT LOCATION PLANS (CONTINUED) APPENDIXA

Old Okanagan Highway – Bering Road to Reece Road (Length = 1015m)

RFP# 2024-01-P100

2024 Road Rehabilitation Design Update & Construction Services

PROJECT LOCATION PLANS (CONTINUED) APPENDIXA

Shannon Court – Woodstock Drive to Culdesac (Length = 192m)

RFP# 2024-01-P100

2024 Road Rehabilitation Design Update & Construction Services

PROJECT LOCATION PLANS (CONTINUED) APPENDIXA

Shannon Place – Shannon Ridge Drive to Woodstock Drive (Length= 156m)

RFP# 2024-01-P100

2024 Road Rehabilitation Design Update & Construction Services

PROJECT LOCATION PLANS

(CONTINUED)

Shannon Ridge Drive – Shannon Lake Road to Ensign Way (Length = 1463m)

RFP# 2024-01-P100

2024 Road Rehabilitation Design Update & Construction Services

PROJECT LOCATION PLANS (CONTINUED) APPENDIXA

Shannon Woods Drive– Shannon Lake Road to Culdesac (Length = 856m)

PROJECT LOCATION PLANS (CONTINUED) APPENDIX A

Boucherie Road – Gregory Road to WFN, WFNto Gellatly Road (Length = 3479m)

PROJECT LOCATION PLANS (CONTINUED) APPENDIXA

Gellatly Road South – Gellatly Road to Whitworth Road (Length = 268m)

WEST KELOWNA

5.DESCRIPTION Desired Manufacturer/Model (attach additional pages/brochure if necessary)

This request is for year 4 of the streetlight LED replacement program. This request of $350,000 will complete the purchase of these fixtures in 4 years instead of the original estimate of 5 years to complete the entire City. By purchasing all remaining fixtures in 2025, this will result in an overall project savings of approximately $250,000 with the completion in 4 years vs 5. The early completion will also result in other savings being realized faster (reduced maintenance costs and lower energy consumption).

WEST KELOWNA

DESCRIPTION Desired Manufacturer/Model (attach additional pages/brochure if necessary)

In accordance with the City's Vehicle and Equipment Acquisition, Replacement, and Disposal Policy, this request is to replace three fleet units that have scored out based on performance and safety standards and no longer meet the CWK policy standards for continued use. The 2025 replacements include a sidewalk tractor ($300k), mechanic service truck ($250k), a bobcat with beach cleaner attachment ($160k). 6.CAPITAL

Source (Select from drop down list below & input requested amount in

3. DEPARTMENT 1. PROJECT ITEM Remote Operated Electric Mower

CITY OF WEST KELOWNA

2. PRIORITY (check one )

5.DESCRIPTION Desired Manufacturer/Model (attach additional pages/brochure if necessary)

This request is for a remote-operated, fully electric roadside mower unit to increase productivity and improve safety for operations crews conducting annual vegetation control. This includes areas adjacent busy roadways, stormwater management ponds, public utility lots, steeper slopes, and other difficult-to-access areas where flail mowing tractors cannot access. Currently, a crew of two students and one operator follows roadside mowing units throughout the community with line trimmers to trim any areas that mowers are unable to reach. However, this slow, labour-intensive process leaves large gaps and many locations incomplete.

These electric mower decks can cover significantly more area than the crew of three, access steeper slopes and tighter spaces, and work in areas adjacent to busy roadways in a safer and more effective manner. Adding this unit to work alongside the line trimmers will increase productivity and improve safety for the crews, who work long hours in extreme heat in the summer to beautify the community and reduce roadside hazards and fire risks.

6.CAPITAL EXPENDITURE RATIONALE AND STRATEGIC IMPORTANCE (attach additional pages as required)

Annual Maintenance and Diesel Savings

Traditional Mower

• 36 Litter Diesel Tank at $2.00 per/LT = $72.00 CAD per fill

• Fill 3 times per week for 6 months of the year (26 weeks) = $5,616.00 CAD per year

• Annual oil & hydraulic filter and liquid change = $500 CAD per year

Annual Cost $6,116

In three (3) years the total amount of fuel and oils tally up to less then a new batter for the machine.

• Three (3) year cost - $18,348 CAD

• 150 AH battery - $15,370.83 CAD

• Eight (8) year cost - $48,928 CAD

• Standard Raymo Package - $52,502

CITY OF WEST KELOWNA

and Sander

5. DESCRIPTION Desired Manufacturer/Model (attach additional pages/brochure if

Budget is requested for front plow and sanding box implements for an existing F550 truck in the fleet to be used by the Capital Crew. This equipment will assist with augmented winter maintenance operations in various capacities, improving efficiency and is part of planning for the potential of providing this service in-house. Work for this unit includes, laneways, access roads, operations yards, transit facilities, utility access roads and would be

to augment roadway snow and ice control as needed. The parts estimate is $40,000, with delivery and installation bringing the total

CITY OF WEST KELOWNA

is requested to purchase a sander for an existing truck equipped for this use in the Parks Department. The sander will be used for various parks yards, driveways and parking lots (such as the new City Hall) which are not currently contracted out but often require special callouts to contractors to ensure safe access for the public and staff into these locations. In walkway areas having sufficient width, this sander will help combat ice and slippery surfaces.

OF WEST KELOWNA

(Please explain in description) ___________

5. DESCRIPTION Desired Manufacturer/Model (attach additional pages/brochure if necessary) Budget is requested for a forklift that has long been needed at Powers Creek for offloading chemical totes, materials shipped to the plant, and moving materials around the site. Currently, an old manual power hand truck is used to move 5500 kg totes out of the centrifuge area, but it is cumbersome and often results in health and safety issues such as muscle pulls and sprains. Additionally, it does not function well on uneven ground, making unloading a transport truck unsafe and impractical for other uses. At present, a forklift is being rented.

5. DESCRIPTION Desired Manufacturer/Model (attach additional pages/brochure if necessary)

This request is for a ½ ton EV pickup to support the new Roads Op 1 FTE proposed for 2025. Roads department does not currently have an unused vehicle available for the new FTE position being requested. This position and vehicle will support general roads operations including road and sidewalk repairs/maintenance, transit maintenance, drainage maintenance and a wide variety of day-to-day activities. A pickup truck of this size with 4x4 is being requested as the unit will be expected to tow small trailers and carry various tools and supplies to perform this work in all weather conditions. An Electric or Hybrid vehicle also supports the reduction in emissions through green fleet technology.

FTE2025-7: Parks 550 Truck with Dump

5. DESCRIPTION Desired Manufacturer/Model (attach additional pages/brochure if necessary)

An F550 with a dump box is required for the Parks Operator 3 – Turf. This vehicle will serve as the primary mode of transportation for this FTE and will assist in maintaining the City’s turf and sports fields. The unit is necessary for frequently hauling large, heavy volumes (approximately 12,000 lbs) of soil, sand, fertilizers, turf/sod, etc., and must be capable of being loaded with machinery and dumping upon arrival at the site. Additionally, the vehicle will need to tow trailers carrying tractors, aerators, bobcats, and other heavy machinery.

5. DESCRIPTION Desired Manufacturer/Model (attach additional pages/brochure if necessary)

An F150 Hybrid with a long box and four doors is required for the Seasonal Parks Operator – Mowing. This vehicle will serve as the primary mode of transportation for the FTE and their team of 1 to 2 other mowing employees, necessitating a quad cab. The unit will also be used to tow trailers carrying small mowing units, and the long box is essential for safely transporting line trimmers, backpack blowers, and other tools and equipment between sites.

is requested for a new sidewinder lawn mower to accompany the newly requested 0.8 FTE mowing position. This unit is necessary due to the additional parks, boulevards, and municipal spaces that the Parks Department are required to maintain. Without the mower, the efficiencies of adding additional personnel will not be fully realized.

CITY OF WEST KELOWNA

5. DESCRIPTION Desired Manufacturer/Model (attach additional pages/brochure if necessary)

A new one-ton truck is requested to support a new FTE for the Utilities Department, focusing on water and sewer network operations at various work sites across the City and for After-Hours Utility Standby coverage. The truck needs to be equipped with a canopy and roof rack to transport full lengths of pipe (6m), which is currently limited with the existing fleet. Five-person seating is required to transport multiple team members to sites or meetings, reducing the number of individual fleet vehicles traveling to a common location, thereby decreasing fuel consumption, emissions, and parking space usage. A locking canopy and slide-out toolbox are intended to secure tools, valve keys, and loose items, keeping them safe, dry, and protected from the weather.

CITY OF WEST KELOWNA

This request is for a new EV truck to support one of two new FTEs for the Public Works - Water Supply and Treatment division. The truck is needed to perform water treatment duties, including travel between the two plants, standby shifts, weekend shifts, water quality checks, sample collection, and delivery to labs. Additionally, this request allows for the return of an existing rental unit.

5. DESCRIPTION Desired Manufacturer/Model (attach additional pages/brochure if

This request is for a new EV truck to support one of two new FTEs for the Public Works - Water Supply and Treatment division. The truck is needed to perform water treatment duties, including travel between the two plants, standby shifts, weekend shifts, water quality checks, sample collection, and delivery to labs. Additionally, this request allows for the return of an existing rental unit.

CITYOF WEST KELOWNA

PRIORITY (check one)

(Please explain in description) ___________

5. DESCRIPTION Desired Manufacturer/Model (attach additional pages/brochure if necessary)

The purpose of this CapitalFunding request is to utilize existing funding allocated from the ProvincialCapacity Funds to develop an Amenity Cost Charges Bylawthrough a comprehensive reviewprocess. Amenity Cost Charges (ACC) is a newdevelopment finance toolthat allows localgovernments to collect funds for amenities, such as community centres, libraries, daycares from newdevelopment that results in increased demand for services. These amenities support livable and complete communities in areas of growth. The new Division 19.1 of the LGA authorizes localgovernments to impose ACCs and outlines the legislated requirements. Local governments can collect ACCs on subdivision approval or prior to the issuance of a building permit from any new development that results in an increase in the population of residents or workers (i.e., if a development adds newresidentialunits or new workplaces to the community) in areas where a localgovernment is planning for growth. Like DCCs, ACCs must be imposed by bylawand in accordance with the process and requirements set out in the legislation. Local governments can choose whether to use the newACC tooland can adopt an ACCbylawat any time. Unlike DCCs, ACC bylaws do not require approvalfrom the Inspector of Municipalities. 6.

Source (Select from drop down list below & input requested amount in column J)

CITYOF WEST KELOWNA

A West Kelowna Community Safety & Well-being Strategy will align with Council’s strategic priorities of Strengthen our Community and Foster Safety and Well-Being. It will contain a comprehensive, coordinated, practical and solution-focused plan, providing proactive recommendations to address and prevent issues related to crime, vandalism, and social challenges within the City of West Kelowna. It’s important that the City prepares for the influxof people (12,000 newresidents by 2040) fromdiverse backgrounds, cultures and socio-economic class so that everyone has a strong sense of safety, belonging, equal access to services, and have their needs met for education, child care, health care, food, housing, income, and social and cultural expression. A Community Safety & Well-being Strategy will provide direction and guidance on both communitybased programming and a framework for the City’s community and social development role, which work collaboratively together with various City departments and external agencies to address social challenges such as, poverty reduction, accessibility, housing, isolation and inclusion, and child development and care. The strategy will engage the broader community, including the local business sector to understand howcommunity safety and well-being can support local businesses and overall economic development in West Kelowna, to foster investment and growth in the community. Well, at the same time, the strategy will address the strain social challenges put on medical/health and City services (i.e. Fire and Bylawdepartment).

6. CAPITAL EXPENDITURE RATIONALE AND STRATEGIC IMPORTANCE (attach additional pages as required)

CITY OF WEST KELOWNA

Capital Construction Crew completes several drainage improvement projects every

are

required to Menu Road, Lakeview Road, Shannon Lake Road, Parkinson Road, Pinewood Place, Colleen Road, Grenada Crescent, and the Shannon Lake neighbourhood. The crew installs catch basins, drywells, ditching, and storm mains

The City has successfully received a $150,000 grant for the design of stream capacity improvements on McDougall Creek between Old Boucherie Road and Jennens Road. The City has also applied for a $150,000 grant for stream improvements on McDougall Creek near Pike Road and Capri Road. The McDougall Creek watershed was impacted during the 2023 wildfire season. As a result, peak stream flows are expected to increase over the next several years. The design of capacity improvements along the channel will help the City be prepared for these expected flows for future freshet seasons.

5.DESCRIPTION Desired Manufacturer/Model (attach additional pages/brochure if necessary)

The Master Drainage Plan was originally completed in 2011 and was updated in 2017. Since the completion of the two reports, many drainage projects have been completed in the City. A comprehensive review of the drainage network is required to update the projects and priorities of the system. The drainage model will also be updated to help determine sizing of the collection and storage facilities. The recommended projects will be used to update the DCC program and the 10-year capital plan. 6.CAPITAL

During the construction of the Sunnyside transmission main that connected the Sunnyside neighbourhood to the Rose Valley Water Service Area, it was identified that additional storm water improvements are required to convey stormwater through the neighbourhood. The consultant has recommended that an undersized open ditch and culvert system be replaced with a large diameter storm pipe.

OF WEST KELOWNA

The 2025 Pedestrian Improvement Program will install sidewalks and cycling lanes on Horizon Drive from Olympus Way through Covington Crescent, connecting to the existing sidewalk fronting 2024 Horizon Drive. The 1.25 km safety improvement includes a storm drainage system with curb and gutter on one side of the road, cycling lanes and street lighting along the collector roadway.

The project was tendered in 2023 and was planned to be constructed over two years. After reviewing the single tender the City received, it is recommended the project be re-tendered in 2025 and constructed in one construction season.

Council was presented a Transit Service Review on September 10, 2024. The report included recommendations to provide opportunities to support transit service through capital investments that supported safety improvements around transit hubs. This program would allow the Capital Construction Crew to improve bus stops for accessibility, pedestrian connections, seating, and shelters throughout the city.

5. DESCRIPTION Desired Manufacturer/Model (attach additional pages/brochure if necessary)

Per recommendation I6 in the Parks Master Plan, the nearest skills park is on the far side of Kelowna, and over 50% of the responses received as part of the consultation rated a skills park as a high or medium priority for the City. These types of facilities should be geared towards beginner and intermediate riders, youth and those new to the sport, similar to what the District of Lake Country did in Jack Seaton Park.

Partnering with the West Kelowna Trails Crew Society (WKTC), staff have identified the upper portion of Kinsmen Park as a suitable location for some beginner and intermediate trails, and installation of features. This location is adjacent to the sport fields at Kinsmen Park, providing synergetic uses, and near the Shannon Lake and Smith Creek neighbourhoods, making access easy for youth and residents. Given permission to construct, the WKTC have suggested that they could provide the volunteer labour, while the City installs signage, way finding, and a small amount of machine time to tackle some larger aspects of construction.

CITY OF WEST KELOWNA

PARK IMPROVEMENT RECOMMENDATIONS I

I6 ROLLING ACTIVITIES

Continue to provide safe and inclusive spaces for rolling activities such as biking and skateboarding.

BACKGROUND & RATIONALE

Existing Conditions:

f In 2021, West Kelowna opened the new Memorial Park skatepark which includes a variety of skate experiences. The space is flexible and can accommodate recreation and cultural programming (see Figure 13 on p.107)

f West Kelowna currently does not have a bike skills park or pump track. The nearest bike skills park is Mission Creek Mountain Bike Skills Park in Kelowna. Westbank First Nation has recently developed a pump track at their Multi-use Park.

f West Kelowna is a popular mountain biking destination with a number of trails in nearby Crown lands.

Benchmarking:

f West Kelowna does not have a bike skills park or a pump track, which are available in most of the benchmark communities.

f Communities similar in size to West Kelowna commonly have one to two skateboard parks.

Trends:

f Biking and skateboarding are popular and growing activities among many age groups.

f West Kelowna is gaining a reputation for its recreational trails network and there are increasing programs and ways for people to get involved. For example, MBSS offers courses in mountain biking.

f The introduction of more affordable electric mountain bikes has broadened the appeal of the sport to a wider age and ability range. Bikepacking is also a growing trend founded on essential skills of mountain biking.

f Rolling activities often appeal to youth, and they can provide safe spaces that encourage active participation and community connection.

f Both beginners and advanced riders can benefit from facilities that allow them to practice their skills in a more controlled environment.

f A common barrier to participation in rolling sports is a lack of entry-level facilities and programming that allow riders to build up their skills.

Community Input:

f Over 50% of Parks Ideas Questionnaire participants felt that addition of a bike skills park is a high or medium priority for West Kelowna.

f New ideas identified by participants suggested pump tracks and other facilities suitable for beginner riders are also desirable.

f Input indicated an interest for a second skatepark that reduces the need to travel to a single location. Neighbourhoods indicated for consideration include Lakeview Heights, Rose Valley, or Glenrosa.

PLANNING & DESIGN CONSIDERATIONS

New rolling amenities should be developed with the following considerations in mind:

f Location: Locate amenities close to population centres with higher concentrations of youth – for example, near middle or secondary school facilities. Locations should have good passive surveillance.

f Access: Prioritize opportunity to access the park by walking, biking, or public transit.

f Consultation: Youth, bike communities, and program operators (including SD23) should be invited to participate directly in decisions about the type of park and features that will best meet their needs.

f Funding: Rolling facilities can have higher costs and require a process to secure funding through alternative sources. They can often attract sponsorship and fundraising dollars.

I6.1 Work with partners, stakeholders, program operators, and youth on a bike skills park/pump track planning process to prepare a program, identify a site, and develop a concept and cost estimate for a bike skills park and/or pump track. The concept should be used to identify and secure funding.

I6.2 When funding has been secured, proceed with development of a bike skills park and/or pump track.

I6.3 Monitor need and opportunity for a future second skatepark in a location that increases access for youth.

I6.4 Consider additional lighting at the existing Memorial Park skateboard facility to extend hours of use, with careful consideration of safety, CPTED, and desired hours of use.

RELATED RECOMMENDATIONS

f F11 Donations & Fundraising (p.154)

REFERENCE

f Parks Master Plan Section 3.2.3 Existing Parkland Analysis (p.24)

Skateboard Park in Memorial Park

OF WEST KELOWNA

Much of the asphalt in the parks system is aged and has exceeded its usable lifespan, including the Paula Park basketball court and the decommissioned parking lot at Last Mountain Park that is recommended to be repurposed as a basketball court. To improve accessibility, it is also recommended that the pathway adjacent to the Annette Beaudreau Amphitheatre at Memorial Park is connected to the new access on the northeast side of the park. This asphalt connection at Memorial Park is consistent with the recommendation developed by the Accessibility and Inclusion Committee on July 17, 2024.

CITY OF WEST KELOWNA

5.DESCRIPTION Desired Manufacturer/Model (attach additional pages/brochure if

In an effort to follow the Bear Aware program administered by the RDCO and the City, this request would add 6 bear resistant garbage cans to parks system in areas prone to wildlife conflicts. To protect wildlife and reduce wildlife conflicts in the community, the RDCO and the City of West Kelowna communicate public education strategies with residents on an annual basis. In an effort to set a good example for residents and practice those strategies, the City has been replacing the open garbage cans in its parks with bear proof cans. This budget request will continue to expand on the existing program adding another 6 to the system in interface areas where bears have proven to be an issue in the past and are identified as high/medium high by the Bear Hazard Assessment completed by WildSafeBC BC Conservation Foundation which was commissioned by the City. 6.

5.DESCRIPTION Desired Manufacturer/Model (attach additional pages/brochure if necessary)

Consistent with the Parks master plan recommendation and a continuance of previous requests identified in the 10-year capital plan. OR #14 - Old and worn components of the City's numerous irrigation systems are changed out as time permits. This ensures backflow devices are secure, meters accurate, and valves can be closed and sealed tight. Water breaks at the point of connection or within the main system of an irrigation system can be expensive and very damaging. Staying ahead of these potential failures is good preventative maintenance practice and asset management. In the last 2 years the City was successful in changing out its irrigation clocks and repairing major breaks in aged infrastructure, saving countless hours of site visits and repairs.

CITY OF WEST KELOWNA

CITY OF WEST KELOWNA

(Please explain in description) ___________

5.DESCRIPTION Desired Manufacturer/Model (attach additional pages/brochure if necessary)

Annual budget is requested for enhancing City-owned property. This could involve light improvements to undeveloped parks or additional improvements to existing parks needing updates in landscaping, fencing, signage, or other infrastructure. These types of requests are brought forward by staff and the public on a regular basis, however without the project being specifically identified in a plan, there is no designated funding. This $25k value is intended to serve as a pilot to see how the program could work and may be increased in coming years pending its success.

5.DESCRIPTION Desired Manufacturer/Model (attach additional pages/brochure if necessary)

The Anders Tennis Courts are one of the best facilities in the Central Okanagan. In 2021, the Lakeview Heights Tennis Club had nearly 250 members, and offered lessons, leagues and tournaments for both adults and children. With the recent lighting improvements, tennis club storage improvements and universal access to the courts, maintaining the reputation of this facility as a highly desirable place to host tournaments and leagues is recommended. However, according to the Asset Management Plan and the Parks Master Plan, these courts are overdue for resurfacing. This process, which includes leveling, resurfacing, and adding lines, is essential to extend the facility’s life and reduce tripping hazards from cracks and heaving.

The courts were last resurfaced in 2013. As part of the Asset Management Plan and the Parks Master Plan, it is recommended that the courts be resurfaced every 7 years to extend the lifespan of the facility. Although minor crack repairs were made two years ago to try and bridge the construction of the townhomes on the adjacent site and the new Fire Hall within Anders Park and mitigate any damages to the courts because of those ground works, the court condition now is beyond repair. The subgrade is over 30 years old, and the surface has been patched multiple times. Vibrations from adjacent construction have worsened the settling and cracking, necessitating a full reconstruction. Early approval for this project is recommended to ensure access during the Fire Hall construction and to prevent future construction from impacting the newly reconstructed park.

6. CAPITAL EXPENDITURE RATIONALE AND STRATEGIC IMPORTANCE (attach additional pages as required)

To replace damaged or worn-out pieces of playground equipment throughout the parks system, there is generally a need to replace the braided rope components on climbing apparatus and swings, replace damaged or vandalized pieces, replace proprietary fastening equipment, replace safety surfacing, etc. Repair/replacement of these parts is necessary to comply with Canadian Safety Association standards and to keep the playground operational.

Additionally, Julia's Junction is a very expensive piece of infrastructure that will require additional specific maintenance funding due to the electronic equipment, rubberized safety surfacing, and number of warranty repairs that have had to be addressed within the first year of operation.

CITY OF WEST KELOWNA

5.DESCRIPTION Desired Manufacturer/Model (attach additional pages/brochure if necessary)

In 2024 the Kinsmen Works Yard had over $15,000 worth of items stolen, and the yard was broken into at least 5 times. In association with the Shannon Lake Active Transportation Corridor Improvements, fiber optic conduit was stubbed into the site for future security cameras. Installation of security cameras will deter future break ins and theft and help the RCMP identify criminals.

The Kinsmen Yard and Sports Fields is on a 30 year lease from the Crown which expires in 2046, with perpetual renewal anticipated as a result of the lack of flat sports field land in the City and the ongoing need to maintain the City's Parks infrastructure at Kinsmen Park.

Manufacturer/Model (attach additional pages/brochure if

As per the Parks Master Plan for athletic fields, it is recommended that the City "continue to increase and enhance the supply of high-quality athletic fields so residents of all ages can enjoy field sports. To support this, Location-Specific Recommendation L3.1 recommends that the City develop a Mar Fee Sports Complex Park Plan that identifies a preferred concept and arrangement for future fields and amenities, with consideration for the following: 1) Field arrangement options, including how options align with identified future field needs and potential long-term amenities 2) Identification of other amenities suitable for the site 3) Pedestrian and active transportation circulation 4) Vehicle circulation and parking 5) Other opportunities identified through the process." A community and stakeholder engagement process will be central to the development of this plan.

6.CAPITAL EXPENDITURE RATIONALE AND STRATEGIC IMPORTANCE (attach additional pages as required)

LL3 MAR FEE SPORTS COMPLEX

Develop and implement a Mar Fee Sports Complex Park Plan for the expanded park area.

BACKGROUND & RATIONALE

Since the 2016 Parks Master Plan, the City has secured a large new park space adjacent to the existing Mar Fee Sports Field and Multi Sport Centre, fulfilling a previous recommendation to secure upland area for future Community/Athletic Park development.

This undeveloped land represents a significant opportunity to expand the City's field inventory and create a destination for an array of park users.

The Official Community Plan (2023) identifies the Mar Fee Sports Complex as part of a neighbourhood centre that also provides opportunities such as a community gathering space.

The central part of the property, at approximately 3.5 ha, is relatively flat and suited to sports field development.

The area also includes linear parkland and natural area adjacent to Westlake Road.

Mar Fee Sports Complex

PLANNING CONSIDERATIONS

Site analysis, planning, and concept development will be required to determine the best use of this space. Based on community input and capacity analysis, the following arrangements may warrant exploration:

3 Rectangular Fields: The site could fit three full-size rectangular fields plus supporting infrastructure like parking and seating. An artificial turf field could be considered. This would fulfill anticipated rectangular fields needs beyond ten years and reduce risk related to the CNB fields lease, which is not guaranteed for the long-term. This arrangement would free up other rectangular field space, including at Kinsmen Park, to be considered for alternate uses.

3 Diamond Fields: The site could likely fit three full-size diamonds, representing potential to fill the identified need for a multifield softball facility. Further analysis is required to confirm capacity, including space for parking and amenities. This arrangement would increase diamond space, which could allow consideration for repurposing of Issler Park, Ranch Park, and/or parts of Kinsmen Park.

2 Fields + Additional Uses: Field spaces can be combined with other facilities like a running track or may be organized to accommodate cricket or other field sports. Fewer fields would increase space for other facilities such as courts, a multi-use sports box, play areas, walking infrastructure, offleash dog area, or other community park opportunities. This arrangement could still free up other field space, though long-term field needs may not be fully met.

Field Lighting: As the park is buffered from adjacent residential and the existing field is lit, future fields are candidates for field lighting.

Other Amenities: All options should explore integration of community park amenities such as play area, fitness spaces, court spaces, off-leash area, trails and circulation, and other aligned community-scale amenities.

L3.1 Develop a Mar Fee Sports Complex Park Plan that identifies a preferred concept and arrangement for future fields and amenities, with consideration for the following:

» Field arrangement options, including how options align with identified future field needs (see I1 Athletic Fields) and potential long-term amenities (see I11 Other Ideas for Future Consideration)

» Identification of other amenities suitable for the site

» Pedestrian and active transportation circulation

» Vehicle circulation and parking

» Other opportunities identified through the process

L3.2 Implement the concept developed in the Mar Fee Sports Complex Park Plan.

RELATED RECOMMENDATIONS

I1 Athletic Fields (p.81) I11 Other Ideas for Future Consideration (p.116)

REFERENCE

$100K-$250K plan only

Parks

Parks Master Plan Section 3.2.3 Existing Parkland Analysis (p.24) West Kelowna Official Community Plan (2023)

5. DESCRIPTION Desired Manufacturer/Model (attach additional pages/brochure if

As per the Parks Master Plan, it is recommended that the City "enhance Memorial Park and Annette Beaudreau Amphitheatre to further promote community gatherings.'" To support this, Location-Specific Recommendation L7.2 recommends that the City "update the 2013 Memorial Park Plan to incorporate recent changes and new ideas." A community and stakeholder engagement process will be central to the development of this plan.

Completion of this plan will help guide planning and budgeting for projects like a comprehensive review of onsite parking, JBMAC circulation, and future park and facility improvements now that City Hall is complete. 6.

LOCATION-SPECIFIC RECOMMENDATIONS

L7 MEMORIAL PARK/ANNETTE BEAUDREAU AMPHITHEATRE

Enhance Memorial Park and Annette Beaudreau Amphitheatre to further promote community gatherings.

BACKGROUND & RATIONALE

Memorial Park is a significant community park centrally located in West Kelowna. Council’s 2022-2026 Strategic Priorities identifies expansion of the offerings at Memorial Park as a priority.

With the creation of Annette Beaudreau Amphitheatre, home to Music in the Park and other community gatherings, the park has become an increasingly important space for events and community celebration.

Since the 2016 Parks Master Plan:

» The City identified the northern part of the park as the site for a new City Hall (completion in 2024) with a vision for creating a welcoming place to gather.

» To accommodate the new City Hall, the existing skateboard park was removed and replaced by a new skateboard park in the southeast portion of the park.

L7.1 Explore Memorial Park as a potential site for a new Outdoor Ice Skating Venue and supporting winter recreation amenities (see I4 Outdoor Ice Skating Venue).

With Memorial Park's primary function as a gathering space, capacity for athletic field use at the park has diminished and athletic activities are typically accommodated on other fields in the City. It is not anticipated that Memorial Park will play a significant role in future field capacity.

Most of the recommendations in the 2013 Memorial Park Plan have been implemented or shifted by the new City Hall development. Several new ideas for park improvements have been identified, such as:

» Development of a permanent stage and additional amphitheatre seating

» Enhanced lighting

» Tree planting and/or features to increase shade provision

» Permanent anchors for large event tents

» Circulation and accessibility improvements

L7.2 Update the 2013 Memorial Park Plan to incorporate recent changes and new ideas.

RELATED RECOMMENDATIONS

I4 Outdoor Ice Skating Venue (p.96)

REFERENCE

See I4

Parks Recreation $$

plan only

Council 2022-2026 Strategic Priorities Memorial Park Plan (2013)

2. PRIORITY (check one)

5. DESCRIPTION Desired Manufacturer/Model (attach additional pages/brochure if necessary)

As per the Parks Master Plan for Athletic Fields, it is recommended that the City "continue to increase and enhance the supply of high-quality athletic fields so residents of all ages can enjoy field sports." To support this, Park Improvement Recommendation I1.2 recommends that the City "implement minor upgrades at Ranch Park including field and bleacher upgrades." Proposed work also includes retaining wall repair, irrigation upgrades, and field subsurface and surface replacement to improve safety, enjoyment, and sustainability of the amenities at Ranch Park.

In 2024, there were major irrigation failures in the park due to the shallow depth topsoil on the playing surface. Additionally, the transition between the infield and outfield causes the ball to bounce up into the body or faces of the players, creating a public safety hazard. Furthermore, the field has settled heavily in the NE corner, resulting in an uneven playing surface.

6. CAPITAL EXPENDITURE RATIONALE AND STRATEGIC IMPORTANCE (attach additional pages as required)

CITY OF WEST KELOWNA

I1 ATHLETIC FIELDS

Continue to increase and enhance the supply of high-quality athletic fields so residents of all ages can enjoy field sports.

BACKGROUND & RATIONALE

Existing Conditions:

Figure 8 (next page) provides an overview of existing athletic field locations and types.

Since the 2016 Parks Master Plan:

» A new Multi Sport Centre (dome) at Mar Fee Sports Complex was added to expand field space and support year-round activity.

» Lighting was added at the Mar Fee Sports Field (formerly Rosewood Sports Field) and Mount Boucherie Sports Fields (large diamond), extending hours of use.

» Additional parkland at the Mar Fee Sports Complex was secured to support future field expansion.

» Memorial Park was increasingly utilized as a major event venue and a new skatepark was developed, reducing field capacity in this location.

» Plans were created for Anders Park to accommodate a replacement fire hall in Lakeview Heights. When implemented, the small existing field will be removed, reducing the rectangular field inventory.

Benchmarking:

The City is lower than benchmark communities in provision of diamonds, both for baseball and softball.

It is close to average in rectangular field provision and many other communities of similar size do not provide a dome.

West Kelowna does not currently have an outdoor artificial turf field or a cricket pitch, though these facilities are less common among the smaller benchmark communities.

Mount Boucherie Sports Fields

PARK IMPROVEMENT RECOMMENDATIONS I

I1.1 Continue to engage athletic field stakeholders to gauge needs, develop plans, and implement field improvements.

I1.2 Implement minor upgrades at Ranch Park including field and bleacher upgrades.

I1.3 Target the following field increases over the next 10 years:

» Rectangular Field: 2-3 fields to support a range of levels of play, with consideration for 1 artificial turf field.

» Softball Diamond: 1 future field that could support adult-level play, with at least 3 of the total inventory in a single location.

» Baseball Diamond: 1 future field that could support 18U-level play.

» Consider lighting during future field planning.

I1.4 Engage with SD23 to determine if any existing or future school fields warrant consideration for cooperative management to increase high-quality field space for both school and community use. The future George Pringle Secondary School may present specific opportunities. Other fields that may warrant exploration include:

» Mount Boucherie Secondary

» Glenrosa Middle School

» Shannon Lake Elementary

I1.5 Engage with SD23 to consider potential long-term improvements at the CNB fields such as lighting, artificial turf, washrooms, and spectator seating.

I1.6 Develop and implement park plans and select field improvements at key athletic fields including Mar Fee Sports Complex, Kinsmen Park, Mount Boucherie Sports Fields, and Wild Horse Park.

RELATED RECOMMENDATIONS

Q2 Parkland Targets (p.69)

I11 Other Ideas for Future Consideration (p.116)

L3 Mar Fee Sports Complex (p.124)

L4 Kinsmen Park (p.126)

L5 Mount Boucherie Sports Fields/Darroch Park (p.127)

L6 Wild Horse Park (p.128)

See L3-L6

REFERENCE

Parks Master Plan Section 3.2.3 Existing Parkland Analysis (p.24)

CITY OF WEST KELOWNA

As part of the phase 1 improvements at Pritchard Park, the landscaping beds at the front of the park were deleted due to project costs. Currently, it is a mulched bed that has been overgrown with weeds and serviced by drip irrigation. City crews spend approximately 200 hours a year weeding and maintaining that area, costing around $4,000 annually. Planting drought-tolerant shrubs will improve the beauty of the park and provide a return on investment of approximately 4.25 years, reduce the FTE maintenance requirements and the number of public complaints received.

OF WEST KELOWNA

explain

Aligned with Council’s strategic priority to invest in infrastructure, this budget request aims to create partnership opportunities with developers and landowners to address infrastructure gaps. Sometimes, development projects do not fully resolve infrastructure deficiencies, and a City contribution can efficiently mitigate these gaps. It is more cost-effective for a development project to complete sections of sidewalk and streetlighting or install a fire hydrant beyond the frontage works, rather than waiting for a City improvement project, which would likely be more expensive and delayed. This approach also benefits the community by synchronizing infrastructure work with new development construction. The City’s contribution fosters a cooperative approach to addressing infrastructure gaps, benefiting both the community and new developments. 6.

(Please explain in

An acoustic studyof the newCityHall Council Chambers recommended installing both ceiling and wall acoustic panels to address the sound bouncing issues. To maintain the room's wood aesthetics, a wood acoustic panel system is suggested for this project. There is an 8-week backorder for this product. Therefore, staff recommend earlyapproval to order the product and schedule the work, resolving the acoustics in this room as soon as possible.

An interim gravel parking lot was constructed in the Northeast corner of the new City Hall property. A long-term plan for this parking lot still needs to be created. Such a plan should include paving, curbs, sidewalk, gutter, lighting, and painting. As a result, staff is requesting to complete concept plans and detailed drawings in 2025, for Council's consideration for future construction. Staff is recommending early approval for this request so that it can be completed in time for 2026 budget deliberations.

CITY OF WEST KELOWNA

5. DESCRIPTION Desired Manufacturer/Model (attach

In 2024, the City completed a roof assessment of Fire Hall 33. The report identified approximately 2000 square feet of roof needing to be replaced. Many patches have been completed on this roof in recent years. Budget price includes removal and disposal of old roof, as well as the design, engineering, and installation of the new roof. Staff is recommending early approval of this item so that it can be completed at the same time as the Fire Hall 33 Gear Room Expansion project. The Gear Room Expansion Project was approved by Council through the capital budget process and is scheduled to be completed early 2025.

5. DESCRIPTION Desired Manufacturer/Model (attach additional pages/brochure if necessary)

The change room lockers inside Johnson Bentley Memorial Aquatic Centre are over 30 years old, showing signs of wear and rust, and currently only generate 25 cents per use. Staff recommends installing a newer model of locker that is more durable, aesthetically pleasing, and capable of generating more revenue. The proposed locker system, similar to what other aquatic centres are using, would generate $1 per use. The new locker system would generate approximately $40,000 more revenue per year with a payback period of 7 years. The anticipated life expectancy for the lockers is 15-30 years. Additionally, these lockers can be easily relocated, if any renovations or alterations of JBMAC occur in the future. The budget price includes the removal of existing lockers and the purchase and installation of the new lockers.

6. CAPITAL EXPENDITURE RATIONALE AND STRATEGIC IMPORTANCE (attach additional pages as required)

5. DESCRIPTION Desired Manufacturer/Model (attach additional pages/brochure if

In 2024, the City completed a roof assessment of Jim Lind Arena. The report identified approximately 10,000 square feet of roof needing to be replaced. The areas that failed are associated with the flat roofing system that is above the change room, lobby, and mechanical room areas. Many patches have been completed on this roof in recent years. The report detected leaks, roof blisters, and heat loss (via thermal imaging). Staff recommend early approval for this project so that the work can be completed during the annual arena shutdown scheduled in June. The budget price includes removal and disposal of old roof, as well as the design, engineering, and installation of the new roof.

CITY OF WEST KELOWNA

5. DESCRIPTION Desired Manufacturer/Model (attach additional pages/brochure if

The roof top condenser unit for the ammonia refrigeration plant, located at the Mount Boucherie Complex, is past its life expectancy and is scheduled for replacement. This is a key piece of infrastructure that is required to maintain the ammonia refrigeration plant. Without this equipment, the City is not able to maintain the two ice surfaces inside the Mount Boucherie Complex. This is a budget item that was originally scheduled to be completed in 2024 but deferred to 2025. Staff recommends completing the project in 2025. The budget price includes design and engineering of the project, as well as the purchase and installation of the equipment. Staff recommends early approval for this project so that the work can be completed during the annual arena shutdown scheduled in June.

CITY OF WEST KELOWNA

CITY OF WEST KELOWNA

1. PROJECTITEM

3. DEPARTMENT

5. DESCRIPTION Desired Manufacturer/Model (attach additional pages/brochure if necessary)

Personal Protective Equipment (PPE) includes protective clothing, boots and head/hand coverings that firefighters must wear during fire suppressionand rescue operations. The equipment is mandatory, as their life and safety oftendepend onits effectiveness. PPE does not last indefinitely; wear and tear, along withlegislative and industry standards, determine the effective lifespanof eachPPE item.

West Kelowna Fire Rescue uses two primary categories of PPE: Structural PPE and Wildland PPE. Structural PPE includes bunker gear (protective pant and coat), helmet, boots, gloves and nomexhood. Wildland PPE includes nomexpants, shirt, a wide-brimmed helmet withgoggles, forestry boots and gloves. Withthe additionof a goretexjacket and softshell coat, Wildland PPE is also used for Technical Rescue Operations.

The costs for these items vary, and approved funds will be used to purchase any combinationof the above as required, bothonanindividual and group basis. Giventhe nature and intent of this expenditure, primarily for replacing expired or worngear, it is recommended that this sum be moved from Capital into the annual (and ongoing) Operating Budget. *See attached Business Case for further details*

6.

5. DESCRIPTION Desired Manufacturer/Model (attach additional pages/brochure if necessary)

As West Kelowna FireRescue increases the number of POC staff members as part of the complexbuilding initiative, it is essential to ensure the health and safetyof its members against communicable disease suchas Covid-19 and other strains of the influenza virus. Currently, members sharefacepieces during training exercises which increases the risk of spread throughout the department, potentiallyreducing theirabilityto respond to incidents due to increased exposure and illness. Having the abilityto consistentlytrain with the tools and equipment is paramount for safetyduring emergencyresponse. 6.

WEST KELOWNA

CITY OF WEST KELOWNA

5. DESCRIPTION Desired Manufacturer/Model (attachadditional pages/brochure if necessary)

With the approval of thenew purpose-built FIreTrainingCenter (FTC) approvedinFY2022, staff is requestingfunds to complete the necessaryinfrastructure requirements tofullyutilizeand enhancethe center's capabilities.

Thepurpose-built facility has provided cutting-edge, realistic trainingtokeep firefighters safeand effective. Following NFPA guidelines and incorporating industry-wide best practices, this vital facility continues toimprove public safetyinWest Kelowna. TheFTC is a ‘made-in-West-Kelowna’ solution, offering a realistic, effective and efficient capital investment in firefighter and public safety, uniquelytailored to the operational needs of West KelownaFireRescue.

Phase IIwill enable a clean/stableoperational arenawith reliable access inwhich totrain, keeping members, tools and equipment, andapparatus clean and ina stateof operationalreadiness shouldtheneed arise to responddirect from the FTC toan emergencyincident. Thephaseincludes comprehensivesite workand services (excavation, water, sanitary, electrical, etc.), baresite development (retainingwalls, site leveling for pavement), servicing (water, power, sewer, gas), buildingpropmodifications, andtheadditionof a tower craneprop.

6. CAPITAL EXPENDITURE RATIONALE AND STRATEGIC IMPORTANCE (attachadditional pages as required)

Infrastructure

/ Expanded

Renewal Infrastructure

General Overview

City of West Kelowna

Business Case – Fire Department

Fire Training Centre Phase II

This reportoutlines the case for phaseIIof our purpose-built Fire Training Centre (FTC) to address a critical gap in site functionality and effectiveness. This investment in firefighter and public safety will ensure competence of our staff while supporting our requirement to meet province wide training mandates.

Staff recommends that Council grant approval to undertake Phase II construction of the proposed FTC in the amount of $280,000 in 2025.

With the new purpose-built Training Center approved in FY2022, staff is requesting funds to complete the infrastructure requirements to maximize the use and capability of the training center.

The purpose-built facility has provided cutting-edge, realistic training to keep our firefighters safe and effective. Following NFPA guidelines and incorporating industry-wide best practices, this vital facility continues to improve public safety in West Kelowna. The FTC is a ‘made-in-West-Kelowna’ solution, a realistic, effective and efficient capital investment in firefighter and public safety, uniquely tailored to the operational needs of WKFR.

Background

In 2022, Staff working collaboratively with all stakeholders on the new city works yard site determined a permanent site location for the fire department FTC. Once the location was determined the design, build, and installation plans were put in motion to determine the best training solution for WKFR. In 2023 a foundation pad was poured, and the training center fabricated cans were delivered and assembled on site.

Phase 1: Site levelled, concrete pad poured, C- Can construction completed

Fabricated can on-site delivery

Access to Fire Training Center (FTC)

The Facility

The dedicatedpropertyonthe new BartleyCity Yardshasenabledourcrewsto accessaconsistenttraining site that meets our needs; while minimizing our impact to the public spaces we previously conducted our training events on. WKFR has been able to host many training events across our organization for career, paid-on-call, bylaw, and HR (take your kid to work day). WKFR has seen collaboration in training between all divisions in our department providing clear concise delivery to ensure consistent response across the department.

The main training structure consists of shipping containers (Sea Cans) modified to meet our specific training objectives across many fire service disciplines:

 Simulated Live Fire Training based on new fire science and dynamics research

 Offensive and Defensive Fire Attack techniques

 Hose handling drills interior/exterior/below grade

 Sprinkler/standpipe evolutions

 Air pack confidence drills/firefighter survival training/mayday and RIT drills

 Ladder drills (14’, 35’, and 100 ‘aerial)

 Ventilation techniques

 Forcible Entry

 Pumps and pumping/driver training

 Confined Space/ High Angle/ Low Slope rescue

 Large area/ Cold smoke search and fire control (Future site consideration)

 Complex/ High building strategies and tactics

The grounds within the FTC property will also be used for training in the following other areas:

 Wild land Urban-Interface Firefighting

 Trench and Collapse Rescue

 Hazardous Materials Response

 Car fire and transit bus scenarios

 Fire Extinguisher training (for City staff and outside agencies)

 Confined Space training for City staff

Phase II will enable a clean/stable operational arena with reliable access in which to train, keeping our members, tools and equipment, and apparatus clean and in a state of operational readiness should the need arise to respond direct from the FTC to an emergency incident.

Future phases of the facility will include a classroom for theory portions of training, on-site storage for training apparatus, administrative space, gas fired training props, and washroom and shower facilities.

Implementation

Following approval, construction of phase II of the FTC will begin in consultation and collaboration with the city works yard project to maximize financial and operational efficiencies. Although complete implementation will take place over several years, WKFR will continue to make meaningful use of the FTC at the end of Phase II. Upon completion of the third phase, the FTC will be a fully operational site.

Grounds around the FTC concrete pad

The three phase plan for facility development is summarized as follows:

Phase 1 Construct training facility structure with modifications and paint.

Phase 2 Complete site work and services (site excavation, water, sanitary, electrical, etc.).

Phase 3 Install classroom, build satellite props, auto-ex pit, car fire scenario, technical rescue, extinguisher training, and hazardous material decontamination.

Phase 2: Bare site development- Retaining walls and site Leveling for pavement, Servicing (water, power, sewer, gas), building prop modifications for completion, tower crane prop addition

Phase 3:

The Live Fire Training Cell is used as a batting cage for firefighters to be able to see first-hand, calculated and consistent fire behaviour while ingraining core survival skills in Immediately Dangerous to Life and Health (IDLH) controlled atmospheres.

Additional gas fuelled props, car fire, compressed cylinder fires, dumpster, and liquid fuel fires

As we have seen across all departments and all industries, the rising costs of material goods and services and difficulties recruiting and retaining staff WKFR has seen a rise in budget for phase II from $250,000 to $280,000 based on recent estimates related to the required work on site.

Conclusion

As the City of West Kelowna and Westbank First Nation grow, so too will the demands placed upon the department and our firefighters. With densification in the form of multi-use, multi-unit commercial, high/complex buildings, it is more important than ever to give our firefighters the training they need to always be safe and effective. We are currently starting to develop and train many of the skill sets required for the larger buildings located within our community.

WKFR needs a completed space to conduct daily and weekly scheduled training sessions, without imposing on private property owners. It also requires an all-weather facility that is available to the crews throughout the year, which includes a dedicated fire hydrant to train our driver/pump operators with minimal impact to the public.

A dedicated FTC, built and customized to suit the needs of WKFR will ensure consistent training opportunities, and will increase the operational confidence and competence of our fire suppression personnel at all levels. This will decrease the time required to stabilize an incident scene and reduce the

overall damage to affected and neighboring properties. But most importantly, proper training ensures the safety of the public and our personnel.

When combined with the cost-effective, innovative and the phased roll-out plan identified in this business case, the FTC is a prudent measure to support our staff and the needs of our community.

Staff’s Recommendation

Staff recommends that Council grant approval to undertake Phase II construction of the proposed FTC in the amount of $280,000 in 2025.

Alternatives Evaluated:

1. The alternative of delaying construction of Phase II of the FTC until 2026 was evaluated, while possible– itis undesirable.It isrecommendedweproceed aheadincooperationandcollaboration with the city works yard project to meet the operational requirements for this facility.

ITEM

2025 Client Hardware Replacements

Information Services

Standard Laptop

Laptop Dock

Standard Desktop

Standard Shared Desktops

Desktop - Video Editing

MicrosoftSurface/Windows Tablet

Utilities SCADA Tablet

Toughbook Rugged Laptop

Toughbook Dock

5. DESCRIPTION Desired Manufacturer/Model (attachadditional pages/brochure if necessary)

Budgetis requested to replace the following in 2025: 31 standard/shared desktop computers,7 standard laptops,3 ruggedized laptops,9 MicrosoftSurface tablets,7 performance desktops,15 Standard iPads,1 Macbook Pro, 54 monitors,42 smartphones and the required peripherals.

ITendpointequipment,including workstations, laptops,tablets,and phones, are replaced on a cycle,often coinciding with the device's warrantyperiod.However, some devices are keptbeyond their warrantyperiod ifthe risk of hardware failure or performance degradation is low.This requestaims to replace allendpoint hardware that has reached end-of-life according to the ITequipmenthardware lifecycle:4 years for laptops/desktops and 4 years for tablets (iPads).When equipmentexceeds its life expectancybutremains in service, repair and maintenance needs increase. Additionally, out-of-warrantydevices mayrequire stocking spare parts to ensure quick repairs and minimize staff disruption,further increasing costs.

6. CAPITALEXPENDITURE RATIONALE AND STRATEGIC IMPORTANCE (attach additional pages as required)

CITY OF WEST KELOWNA

Meraki MR36

Meraki C9300-24U-M

Meraki C9300L-24P-4X

Meraki MR78

Meraki MS125-24P

Meraki MS125-48P

5. DESCRIPTION Desired Manufacturer/Model (attachadditional pages/brochure if necessary)

Network hardware, includingswitches, wireless access points androuters/firewalls, arereplaced on acycle to ensure continuedmanufacturer support, reliability, performance, andalignment withcurrent technology. Severalnetwork hardwaredevices have reached their end-of-lifeand needreplacement, withsomehavingbeen deployed as earlyas 2014. Thesedevices typicallyhave alife spanof 5-8years, making them overduefor replacement. Failuretoreplace them canresultinloss of support, hardwarefailure, performancedegradation, securityvulnerabilities, andcompatibility issues. It is recommendedto replace thehardware in 2025.

1.PROJECT

3.DEPARTMENT

5.DESCRIPTION Desired Manufacturer/Model (attach additional pages/brochure if necessary)

The City utilizes Network Attached Storage (NAS) for storing data such as video, photos, satellite imagery for GIS, backup data, etc. Two NAS appliances have reached end of support. A newer appliance requires additional capacity to be able to replace the out of support units as wellas provide capacity for the future. This request willprovide the City with the required storage requirements.

6.CAPITAL

(Select from

1.PROJECT ITEM

2025 AerialPhotography, Orthophotographyand Photogrammetric Product Update

3.DEPARTMENT

4.CAPITAL COST

Information Services

CITY OF WEST KELOWNA

2.PRIORITY(check one)

Strategic Priority:

MasterPlan:

explain in description) ___________

Health &

Equipment

5. DESCRIPTION Desired Manufacturer/Model(attach additional pages/brochure ifnecessary)

Budgetis requested for2025 AerialPhotography,Orthophotographyand Photogrammetric ProductUpdate (GIS). This includes newimageryfor the entire City of WestKelowna (CWK)and Westbank First Nation (WFN), updates to the DEM(DigitalElevation Model),and derived topographic contour data and building outline update.

In 2023, CWK acquired an update to their AerialPhotography,Orthophotography and Photogrammetric products. This included orthorectified aerialimagery of the entire CWK and WFN at a 10cm resolution, as wellas updates to the DEM,derived topographic contours and building outlines. As primary components ofthe foundation of the GIS atthe CWK,these spatialproducts are valuable forboth the public use and internaldecision makers. CWK GIS datasets are tied into these products, and the currencyofmuch of our GIS is dependent upon the currencyofthis information. Out ofdate orthophotos require additionalground truthing bystaff which results in reduced application processing efficiencies. 2025 has been scheduled for updating these products based on the 2-year update cycle approved in 2017.

6.

Upgraded /Expanded Infrastructure

7. NEWYEARLYOPERATING EXPENSES:

CITY OF WEST KELOWNA

5. DESCRIPTION Desired Manufacturer/Model (attach additional pages/brochure if necessary)

A cybersecurity risk assessment is a systematic process used to identify, evaluate, and prioritize potential threats and vulnerabilities withinanorganization's information technology (IT) environment. The goal is to mitigate risks and enhance security measures to protect the organization's critical assets and data.

This process involves examining the current technology, security controls, policies, and procedures to determine whichpotential threats or attacks could affect the City's most critical assets and data. It helps indeveloping a suitable cybersecurity planby identifying system vulnerabilities and the criticality of company assets.

Typically, Cybersecurity Assessments should occur annually, however this is not feasible for the City of West Kelowna giventhat there are not staff dedicated to cybersecurity to conduct the assessments, therefore the goal is to conduct assessment every two years. It is critical to conduct a corporate network Cybersecurity Risk Assessment in2025 as one has not beenconducted since 2017 due to a shortage of staff resources and highworkloads. Many new cybersecurity measures have beenput inplace to protect the City IT systems, and regular cybersecurity vulnerability scans are conducted, however it is critical to have anexternal cybersecurity agency conduct assessments to confirm the City's level of risk.

6. CAPITAL EXPENDITURE RATIONALE AND STRATEGIC IMPORTANCE

City of West Kelowna

Business Case

Information Services – Cybersecurity Risk Assessment 2025

Executive Summary

The objective of this business case is to propose the implementation of a comprehensive cybersecurity risk assessment for both corporate and operational technology (OT) networks, including water treatment and distribution systems. This assessment aims to identify vulnerabilities, mitigate risks, and enhance the overall security posture of the City of West Kelowna. By conducting this assessment, we aim to protect critical assets, ensure compliance with regulatory requirements, and maintain the trust of our stakeholders.

Consequences of not performing a cybersecurity risk assessment:

 Increased vulnerability to cyber-attacks

 Potential compromise of water treatment and distribution systems which could result in public safety risks

 Non-compliance with regulatory requirements

 Loss of stakeholder trust

 Financial losses due to data breaches

 Operational disruptions

 Reputation damage

We recommend proceeding with the cybersecurity risk assessment to safeguard our networks and data.

Background

The City of West Kelowna has experienced significant growth in its digital infrastructure, leading to increased exposure to cyber threats. Historically, our cybersecurity measures have focused primarily on corporate networks, leaving OT networks potentially vulnerable. The business case aims to address this gap by conducting a thorough risk assessment of both corporate and OT networks. This assessment will help us understand the current security landscape, identify potential threats, and develop strategies to mitigate risks.

It is important to note that the city last conducted a cybersecurity risk assessment on the corporate network in 2017 and on the water treatment network in 2021. The recommended frequency for these assessments is annually to ensure ongoing protection and adaptability to emerging threats.

Business Case Type

Type 1 – An evaluation of one proposed action.

Goals and Objectives

 Identify Vulnerabilities: Detect and address security weaknesses in both corporate and OT networks.

 Enhance Security Posture: Implement measures to protect critical assets and data.

 Ensure Compliance: Meet industry standards and regulatory requirements.

 Protect Business Reputation: Maintain trust with stakeholders by demonstrating a commitment to cybersecurity.

Key Stakeholders

 City Council

 Information Services Department

 Public Works Department

 City Employees

 Residents of West Kelowna

Boundaries

The scope of this assessment will include all corporate and OT networks within the City of West Kelowna. Limitationsmay include budget constraints and the availability of resources. Regulatory requirements and existing policies will also guide the assessment process.

Key Assumptions

 The cost of the assessment will remain within the allocated budget.

 The City Council's support for cybersecurity initiatives will continue.

 Resources required for the assessment will be available.

List Alternatives/Options

1. Conduct the Assessment Internally: Utilize internal resources to perform the risk assessment. This option may be cost-effective but could lack the expertise and sufficient resources required for a comprehensive evaluation.

2. Hire External Consultants: Engage cybersecurity experts to conduct the assessment. This option ensures a thorough evaluation but may incur higher costs.

3. Hybrid Approach: Combine internal resources with external expertise. This option balances cost and expertise, providing a comprehensive assessment, however it only partially addresses the lack of internal resources to conduct the assessment.

Financial Summary

The financial implications of conducting a cybersecurity risk assessment include various costs associated with different testing types:

External Corporate Network Testing:  $20,000.00

Internal Corporate Network Testing:  $22,000.00

OT Network Testing:

$30,000.00

While there may be upfront costs, the long-term benefits include reduced risk of cyber-attacks, potential cost savings from preventing data breaches, and maintaining the trust of stakeholders. The assessment will provide an understanding of the financial impact and help prioritize future investments in cybersecurity.

1. PROJECT ITEM

Council Chambers Equipment Upgrade

3. DEPARTMENT

InformationServices

CITY OF WEST KELOWNA

5.DESCRIPTION Desired Manufacturer/Model (attachadditional pages/brochure if necessary)

A thoroughreview has been conducted, identifying criticalissues with the current audiovisualsystems intheCouncilChambers that requireimmediate attention and upgrades. Theexistingequipment is outdated, leadingtopoor acoustics, usability challenges, and system failures. Thesedeficiencies not only impair the functionality of the Council Chambers but alsonegativelyimpact the overall experience for Councilmembers, city staff, andthe public. Addressing thesechallenges is essential to ensurethat theCouncilChambers can effectively support meetings, presentations, andother events, thereby enhancing the city's digital presence.

Moreover, thereview underscores the importance of transitioningto modern, network-basedaudiovisual technologies to improvelong-term stability and serviceability. By adoptingAudiovisual over IP (AVoverIP) technologies, the city canbenefitfrom remote access for high-level support, service, and feature upgrades. This transition willalso decentralizesystem components, minimizinginterdependencies and enhancing overallsystem reliability andflexibility. Implementingtheseupgrades alongwithacoustical upgrades willnot onlyresolve thecurrent challenges but also futureproof the audiovisualsystems, ensuring theyremainfunctionaland relevant for years to come.

Failuretoproceedwiththese upgrades wouldresult in continued deteriorationof the current audiovisualsystems, leadingtoincreased maintenance costs, further disruptions inmeetings and events, andongoingdissatisfaction among users. Theoutdated systems would continue tohinder effective communication and engagement, ultimatelycompromising thecity's ability to functionefficientlyand transparently.

Thereview alsoprovided a detailed budget estimate for the necessary upgrades, including costs for equipment, labor, andcontingency.The total estimated cost of approximately$277,916.80is a worthwhileinvestment considering thesignificant improvements in functionality, reliability, and user experience that theupgrades willbring. By proceedingwith the recommendations outlined in thereport, the Cityof West Kelownacanensurethat its CouncilChambers are equipped with modernaudiovisual systems that meet the needs of both current andfutureusers.

6.CAPITAL EXPENDITURE RATIONALE AND STRATEGIC IMPORTANCE (attachadditional pages as required)

CITY OF WEST KELOWNA

3.DEPARTMENT

5.DESCRIPTION Desired Manufacturer/Model (attach additional pages/brochure if necessary)

Cisco ISE provides the organization with securitymeasures that enhance the Information Services departments abilityto control which devices and/or users are allowed to connect to both the City's wireless and wired networks, as well as which networks and/or resource those devices/users are permitted to access. This provides an additional layer of securityto protect critical information/systems at the Cityof West Kelowna. The servers currentlyhosting this system are at end-of-life and are in need of replacement and the version used bythe Cityis also end-of-life. This request is to add the necessary licenses and get professional services to assist with the upgrade and deployment of new systems on supported levels.

6.CAPITAL

1. PROJECT ITEM

ESRI ArcGIS Pro Migration

3. DEPARTMENT

4. CAPITAL COST 2. PRIORITY (check one)

(Please explainin description)

5. DESCRIPTION Desired Manufacturer/Model (attach additional pages/brochure if necessary)

ESRI ArcGIS Desktop is a powerfultoolused for various geographic informationsystem (GIS) tasks. It includes applications like ArcMap, ArcCatalog, ArcGlobe, and ArcScene, whichare used to create maps, perform spatial analysis, manage geographic data, and share results. It is also used for tasks suchas repairing map data sources and managing database connections.

The Cityof West Kelowna currentlyuses ESRI ArcMap for this purpose, whichwillno longer be supported bythe software manufacturer at the end of 2025, therefore is inneed of replacement bythe more moderntool, ESRI ArcGIS Pro.

The majorityof the work willbe performed in-house, however this request is for a small number of hours (40-50) to assist the GIS team withthe migration. These consulting hours willensure that industrybest practices are followed, and anyinternalknowledge gaps are addressed.

The GIS platform is utilized byapproximately70% of the Cityand is a business-criticalapplication, therefore requires proper configurationand maintenance, whichthe assistance of a consultant willhelp to mitigate risk during the migration.

The cost of this request is based onconsulting rates being at a range of $185-250 per hour dependent uponthe partner assisting withthe project. There is no additional ongoing licensing fees required for the migration.

6. CAPITAL EXPENDITURE RATIONALE AND STRATEGIC IMPORTANCE (attach additional pages as required)

Source (Select from drop down list below & input requested amount in column

CITYOF WEST KELOWNA

5. DESCRIPTION Desired Manufacturer/Model (attach additional pages/brochure if necessary)

The City of West Kelowna utilizes the ESRI ArcGIS platform for its digital mapping and geospatial needs and it will eventually form the data repository for asset management. This software was last upgraded in2022, and is ona 3-year upgrade cycle, therefore is due for another upgrade in2025. It is important to keep this software at a reasonably current level to ensure support from the vendor is maintained, current features are available, cybersecurity vulnerabilities are minimized, and the software remains well-performing. This request is for professional services to assist internal GIS staff withcompleting the upgrade to ensure industry best practices are adhered to during the upgrade and to fill any knowledge gaps that may exist inperforming the upgrade. The ESRI platform is utilized by approximately 70% of the organizationand is business critical software, therefore it is highly important that the software is properly configured and maintained.

The estimated cost is $37,000-$45,000, whichthe average cost was used, if the project results ina higher cost, thenexisting operating funds will be used.

Upgraded / Expanded Infrastructure

Source (Select fromdrop down list below & input requested amount in column J)

7. NEW YEARLYOPERATING EXPENSES:

CITY OF WEST KELOWNA

1.PROJECT

3.DEPARTMENT

CITY OF WEST KELOWNA

2.PRIORITY(check one)

(Please explain in

5.DESCRIPTION Desired Manufacturer/Model (attach additional pages/brochure if necessary)

More and moreapplications and workloads are moving to the cloud. The Citycurrentlyutilizes Microsoft Azure Cloud for Disaster Recoverybackup, mobile device management, and OCR operations on SharePoint documents (to make PDF document text searchable). Futureplans include enhancing DR functionality, utilizing Azure to runredundant systems to protect from primarydatacenter downtime, future initiatives related to AIor other technologies, and to move production workloads to the cloud. Some vendors will require Azurefunctionalityto run their products in the futureas on-premises support is ending. It is necessaryto properlybuild out a cloud environment in a secureand reliable manner to allowfuture applications and deployments to leverage this technology. This request is to engage with experts to assist in building out a secureAzure Landing Zone in accordance with industrybest practices around security, complianceand other applicablestandards. This will also reduce the requirements for costlyhardware on-premises as we transition to a cloud computing future.

6.CAPITAL EXPENDITURE RATIONALE AND STRATEGIC IMPORTANCE (attach additional pages as required)

7.NEW

1.PROJECT ITEM

3.DEPARTMENT

CITYOF WEST KELOWNA

2.PRIORITY (check one)

Microsoft Data Loss Prevention Health&

4.CAPITAL COST

Information Services Strategic Priority:

(Please explainin description)

5.DESCRIPTION Desired Manufacturer/Model (attach additional pages/brochure if necessary)

The Cityof West Kelowna is presentlymigrating to Microsoft SharePoint Online, whichis a cloud-based platform used to store and manage City-owned data/documents. SharePoint Online is the City's system of record and manages document retentioncycles as legislativelyrequired. Giventhat most Cityowned data resides or will reside inthe SharePoint Online environment, it is important to ensure that data is kept secure, whichincludes traditionalmeasures suchas file or site permissions, however these are not always sufficient. Data Loss Preventionallows documents to be tagged as "sensitive" whichpolicies canbe applied to determine how this sensitive informationis handled, suchas restricting the abilityto email, print or store sensitive informationonUSB drives. This helps to ensure that sensitive informationsuchas data containing informationsuchas credit card numbers, sensitive personalinformation, confidentialCouncildocuments or anyother data deemed to be sensitive is not either intentionallyor accidentallyreleased or mishandled. Microsoft Data Loss Preventionis capable of automaticallydetermining whichdocuments containthis informationand securing them appropriatelybased onpolicies and templates that are developed. As the Citymoves towards powerful tools suchas artificialintelligence and cybersecuritythreats are onthe rise, it is critical that Citydata is kept secure. The Cityof West Kelowna has alreadyinvested inthe Microsoft Cloud platform and has the base licenses available to implement Microsoft Data Loss Prevention, this request is for funding the engagement of a consulting partner to assist inthe implementationof Data Loss Prevention.

6.CAPITAL EXPENDITURE RATIONALE AND STRATEGIC IMPORTANCE (attach additional pages as required)

Upgraded / Expanded Infrastructure

1. PROJECT ITEM

3. DEPARTMENT

4. CAPITALCOST

NearMapImagery

Information Services

CITY OF WEST KELOWNA

2. PRIORITY (check one)

Strategic Priority:

Master Plan:

(Please explain in description)

Health & Safety:

Equipment Replacement:

5. DESCRIPTION Desired Manufacturer/Model (attach

Nearmap is a subscription service thathas recentlybecome available in this area. With this subscription,access to 2 aerialimageryintakes per year at 5cm resolution (spring and late summer/fall) is provided. This offers substantialimprovements to imagerydetailover the 10cm resolution imagerycurrently obtained every2 years. This service willhelp fillin the gaps between the currentaerialimageryintake,providing staffwith a higher levelofcurrencywith the imageryused in various applications. Imageryof thisresolution has been cost-prohibitive to obtain independently(this alone would increase ortho project costs by150%,and thatis for onlyone set of imageryevery2 years).

In addition to the 2 sets of 5cm aerialimageryavailable per year,access is also provided to:

•Allhistoricaltop-down aerialimageryNearmap has for this area,dating back to 2019

• Access to sub 3-inch accuracyoblique imagery(aerialimageryat a 45° angle) and panorama imageryproducts.These allowusers to take accurate vertical measurements (height,slope, and roofarea measurements) as wellas viewfeatures from each cardinaldirection (N,S,E, W).

•Unlimited user licensing and unlimited data consumption.

•Licensing to make the aerialimageryavailable in public-facing applications.

•Supportfor integrations with GIS and CAD applications.

This service provides a significant improvementin the imageryproducts available for deployment in a varietyof GIS products used bystaff. These enhancements enable staffto detectchanges in the community,reviewand make measurements from their desks,leading to fewer field visits,and provide frequentimageryupdates in a rapidlydeveloping community. Itis worth noting thatthe subscription rate here is the governmentrate based on community population size and is considerablycheaper than for larger municipalities.This product has been in use bythe CityofKelowna for the last2 years and has proven verypopular,adding greatvalue to the users.

A trialofthis product is anticipated in 2025,and ifsuccessful,a reviewofOrthophoto and Photogrammetric productupdates willbe conducted,modernizing the intake of imageryand related data. This mayextend the update cycle to 3 or 4 years since the subscription willfillin the gaps.This could enhance the products obtained while reducing overallortho projectcosts byextending the intake frequency. Itwould also free up GIS staff resources for other initiatives. 6.

1.PROJECT ITEM

Paperless-EDRMS Project Assistance

3.DEPARTMENT

4.CAPITAL COST

Information Services

CITYOF WEST KELOWNA

2.PRIORITY (check one)

Health&

5.DESCRIPTION

The Cityof West Kelowna is presentlyimplementing SharePoint Online as its system of record, whichwill eventuallyallowfor automationof business processes and the reductionof paper withthe implementationof electronic workflows. This project consists of evaluationof current data, cleanup, designand migrationof hundreds of thousands of documents into the new software, thenapplying electronic records management to the documents withinthe new environment to ensure regulatoryrequirements are met for records management. This is a verylarge project requiring manystaff resources. Most departments at CityHall are either complete or nearing completion, however other departments outside of CityHall are yet to be completed. There is stilla substantialamount of work remaining and InformationServices staff are preparing to work onseveralother major projects that willmake it difficult to complete the Paperless Project withina reasonable time frame. The Cityhas partnered witha consulting agencywho has beenassisting withthe Paperless Project for the past two years off and on. This request is for assistance inonboarding 3-4 additionaldepartments and software develop work as needed to assist inthe completionof the project while other InformationServices resources are reallocated to other criticalprojects (Asset Management and ERP). It is anticipated that there willbe roughly5 sizable departments remaining in2025, therefore this funding willaddress most of the remaining departments withone internalstaff member addressing the remaining smalldepartments. The goalwould be to bring this project to completionbythe end of 2025 to mid-2026 depending onthe complexities encountered during the remainder of the project.

6.CAPITAL

1.PROJECT ITEM

3.DEPARTMENT

4.CAPITAL COST

WestMap Upgrade

CITYOF WEST KELOWNA

5.DESCRIPTION Desired Manufacturer/Model (attach additional pages/brochure if necessary)

WestMap is aninteractive mapping toolused bythe Cityof West Kelowna. It provides access to a varietyof city-published data layers and tools that users canutilize to searchfor informationor generate their ownmaps. WestMap allows users to access and create maps withdata layers suchas property, zoning, infrastructure, topography, and more. It is used for various cityfunctions and analysis, including reviewing changes over time withhigh-resolution aerialimagery.

The software that runs WestMap (Also knownas VertiGIS GCX) has reached its end-of-support from the software manufacturer and needs anupgrade to the latest version. The consequence of not upgrading VertiGIS GCX is that if issues occur going forward, theymaynot be supported bythe vendor for resolutionand could cause disruptions to the WestMap service. WestMap is utilized byapproximately70% of the organizationand is a business-critical application, therefore there is a highlevelof urgencyto upgrade it to a supported versionin2025.

The initialcost estimate for a consultant to perform the upgrade was roughly$60,000, the GIS team intends to conduct a portionof the work in-house in conjunctionwitha consultant inorder to lower the overallproject cost while ensuring industrybest practices are followed and anyknowledge gaps are addressed.

6.CAPITAL EXPENDITURE RATIONALE AND STRATEGIC IMPORTANCE (attach additional pages as required)

7.NEW YEARLY OPERATING EXPENSES:

1.PROJECT ITEM

CITYOF WESTKELOWNA

2.PRIORITY (check one)

Interview Rooms - replacement Cameras and Monitoring Equipment Health&

3.DEPARTMENT

X Police Services Interview and Monitor Rooms Strategic Priority:

Equipment

(Please explainin description) ___________

4.CAPITAL COST

5.DESCRIPTION Desired Manufacturer/Model (attach additional pages/brochure if necessary)

West Kelowna Police Services requires replacement equipment for the cameras, microphones and monitor room equipment at the detachment. The equipment is over 14 years old and is starting to fail. The video cameras ensure the safetyof the client and officer conducting witness/warned statements at the detachment. The following replacement equipment is required:

•2 x Cameras

•2 x Microphone

•2 x Status lights

•Recording and monitoring equipment

•UPS inthe monitor room

The backup system for downloading videos is no longer functioning. While youcanstillviewthe videos onthe monitor, the export feature is not working, and neither audio nor video canbe exported. Additionally, the backup video storage durationhas decreased from 2 months to just 30 days. The time informationon bothcameras is lagging, requiring frequent adjustments to the timestamp, whichis usuallyoff bya fewminutes. There are also issues withfinalizing DVDs after statements are taken.

6.CAPITAL EXPENDITURE RATIONALE AND STRATEGIC IMPORTANCE (attach additional pages as required) Completion Date:

Upgraded / Expanded Infrastructure

7.NEW YEARLY OPERATING EXPENSES:

1. PROJECT ITEM 2025 SCADASystem Backbone and Upgrades

3.

- Utilities (Water and Sewer)

CITY OF WEST KELOWNA

5. DESCRIPTION Desired Manufacturer/Model (attach additional pages/brochure if necessary)

Ongoing (year 3 of 5) replacement of legacySCADA communications equipment inherited from WID, LID, and the RDCO. The SCADA communications (water and sewer utilitynetwork) wireless radio hardware is aging and has surpassed its recommended lifespan. To maintain a reliable and highperforming SCADA communications network, the Cityinitiated a multi-year program to replace this hardware in 2023. This request is for year three improvements with a 20% contingencyto account for inflation.

The SCADA communications network is critical to the operation of West Kelowna's water and sewer infrastructure, such as booster pumps, lift stations, reservoirs, etc. Ensuring reliable and secure network communications with this infrastructure is essential to provide dependable utilityservices to the residents of West Kelowna. Failure to replace this infrastructure could lead to communication issues, potentiallyaffecting the City’s abilityto distribute drinking water effectivelyand respond promptlyto after-hours issues with water and sewer infrastructure.

6.

City of West Kelowna

Water Distribution and Wastewater Collection

8.0Summary

SCADA System Evaluation Report

8 1The existing City of West Kelowna Water Distribution and Wastewater Collection SCADA system relies on a heterogeneousmixture of communication technologiesto gather data from most of the cities water and wastewater sites.Some of the technologies are obsolete and some of the sites not currently monitored should be added to the SCADA system.

8.2There is a risk that as obsolete technology ages it will become more expensive and eventually impossible to repair or replace in kind leading to site down time.

8.3An upgraded SCADA system is proposed that includes a routed IP network using modern radios. The network will include a high speed backbone. Sites using obsolete or non standard PLC hardware will be upgraded to modern, standard controllers.

8.4The radios in this systemoperate over a frequency range that includes licensed spectrum if the City wants control over the backbone frequency.

8.5There is an opportunity that other municipal radio systems(e.g. 911)will be able to mount antennas on the proposed 140’ CSA tower at the Rosewood Reservoir.

8.6The total estimated optional costs for the project, including a 20% contingency, is $160,602.

8.7The total estimated cost for the project, including a 20% contingency, spread over five years, is $1,787,058.

Mt. BoucherieReservoirMt.BoucherieBooster

OF WEST KELOWNA

5. DESCRIPTION Desired Manufacturer/Model (attach additional pages/brochure if necessary)

The access to the Powers Creek Water Treatment Plant needs safetyimprovements to allowfor staff, contractors, and deliveries to access the plant in a safer manner. Currentlythe roadwayallows for one waytraffic and therearelimited areas to allowvehicles to pull over and allowanother to pass oncoming traffic. This can be challenging in the winter months when large trucks are making deliveries or removing organic waste from the plant. The design is planned to be completed in 2025 with construction to followin 2026.

DESCRIPTION Desired Manufacturer/Model (attach additional pages/brochure if necessary)

The Cityof West Kelowna has retained AECOMto reviewthe Powers Creek Water System (PCWS) and provide optimization recommendations. The Master UtilityWater Plan (MWP) highlighted the benefit of consolidating pressure zones and reducing the number of pressurereducing valve (PRV) stations. ManyPRV stations inthe PCWS are aging and located belowgrade. These stations present confined spaces without a safe means of access. Additionally, some PRV stations are difficult to access due to site constraints or lack of easement. Each of the options that have been presented to the City include the requirement for land acquisition. This capital request will provide funding to finalize the preferred design and to acquire the required land to complete the optimization requirements outlined within the MWP.

6. CAPITAL EXPENDITURE RATIONALE AND STRATEGIC IMPORTANCE (attach additional pages as required)

5. DESCRIPTION Desired Manufacturer/Model (attach additional pages/brochure if necessary)

Budget is requested to conduct a thorough condition assessment of the aging Powers Creek Water Treatment Plant. A qualified consultant, experienced in this type of work and facility, will carryout the assessment. The scope will include, but is not limited to, asset valuations, life cycle analysis of critical assets, external demand drivers, regulatoryrequirements, technological changes, asset obsolescence, renewal and replacement strategies, and disposal/decommissioning plans.

Some critical equipment, such as air compressors, chemical pumps, and progressive cavitypumps, have alreadybegun to fail and require replacement. A comprehensive condition assessment of all critical infrastructure, including concrete structures, roofing, HVAC systems, SCADA, and other remaining assets and appurtenances, is necessary. This will ensure the continued provision of safe and reliable drinking water for the Powers Creek Water Service Area as the plant ages, allowing the cityto plan effectivelyfor future replacements.

CITY OF WEST KELOWNA

3.

5. DESCRIPTION Desired Manufacturer/Model (attach additional pages/brochure if necessary)

Excessive water age canlead to a deteriorationof water qualitydistributed to the City's customers. Severalfactors contribute to water age suchas poor water circulationwithinstorage tanks (ie: no mixing withinreservoirs) or whenchlorine mayhave had more contact withnaturalorganic matter, which increases the need for re-chlorinationprior to reaching the extremities of the distributionsystem.

Water age canbe managed throughdesignand operationalpractices that optimize flowthroughthe distributionsystem while maintaining pressure requirements. Installing tank mixers and/or optimizing the placement of inlets and outlets to improve water circulationintanks are effective strategies to combat water age. This request willsupport the Utilities divisionof Public Works to installthe required infrastructure at 6 powered and 6 non-powered sites throughout the City.

The additionof three re-chlorinationsystems at keylocations withinthe distributionnetworks will help allowfor the water treatment plants to dose chlorine at a slightlylower concentration. This approachminimizes the stronger chlorine taste and odor for nearbycustomers while ensuring that customers farther from the plants to still receive safe water that meets the required Water QualityObjectives.

6.

Upgraded / Expanded Infrastructure

CITYOF WEST KELOWNA

WaterStorageTankMixer

Efficient mixing systems for potable water storage tanks

Drinking water storage tanks should be actively mixed to avoid thermal stratification, reduce the formation of nitrates and lower disinfection by-products (DBP). Pulsair Systems offers the fastest, most effective low energy cost solution for actively mixing any size potable water storage tank. Our proven sanitary mixing process is up to 80-90% more energy efficient than traditional mixing methods and addresses all the major challenges of potable water storage tank mixing.

How it works:

The Pulsair mixing process works by producing sequentially timed pulses of compressed air to generate large bubbles at the tank bottom. The rising bubbles create an immediate vertical circulation pattern that gently stirs and blends 100% of the water in the tank. The Pulsair water tank mixing process is the fastest and most energy efficient because it uses gravity to do the work of mixing. The only energy consumed is during the process of compressing the air. Once the bubbles are released at the tank bottom, no more energy is consumed. The water in the tank continues to move long after the bubbles reach the water surface. Large million gallon water tanks can be properly mixed in less than 20-minutes.

Why mix potable water?

• Prevents formation of thermal stratification layers

• Provides uniform water quality

• Uniform temperature and chemical distribution

• Protects against formation of disinfection by-products (DBPs)

• Reduces risk of nitrification

• Prevents ice formation

Why use the Pulsair mixing process?

• Reduces energy use with efficient intermittent mixing

• Conserves water by eliminating need for deep-cycling

• Helps achieve EPA Stage 2 DBP Rule compliance

• Mixes 100% of the water without deadzones

• Extremely efficient mixing in disinfectants

• Zero in-tank maintenance

• NSF/ANSI 61 Certified

• Ground reservoir tanks

• Standpipes

• Elevated pedestal

• Hydrospheres

Eliminates thermal stratification

The Pulsair system uses a vertical active mixing process to quickly break up stagnant layers of water and reduce the formation of thermoclines and thermal stratification layers in potable water storage tanks. The rising bubbles create immediate vertical mixing circulation pulling colder water up into the tank to achieve uniform water temperature.

Reduces nitrification

Active mixing of potable water with the Pulsair mixing process helps to eliminate nitrification that may occur where chloramine is used to disinfect drinking water. The Pulsair process quickly mixes multi-million gallon water tanks to achieve uniform water temperature reducing the occurrence of nitrification. This saves time and money because operators no longer have to take tanks off-line or deep-cycle tanks.

Protects against trihalomethanes (THMs)

Potable water tank mixing with Pulsair helps protect again trihalomethanes (THMs) and helps ensure EPA Stage 2 DBP Rule compliance. Thermal stratification and thermoclines are eliminated, which can elevate THM levels.

Prevents ice formation

The intermittent rising air bubbles from the Pulsair mixing process creates vertical circulation in the tank and increased agitation at the water surface keeping the water in motion which greatly reduces the formation of ice or freezing in the tank.

Faster mixing

Potable water tank mixing should happen fast and the mixer should be responsive to unforeseen events that require immediate mixing to occur. Unlike small mechanical mixers that can take up to a week to completely mix a potable water tank or passive duckbill nozzles that only mix when the tank is being filled, the Pulsair active mixing process can mix 100% of the water in a multi-million gallon tank on demand.

Contact your local representative

5. DESCRIPTION Desired Manufacturer/Model (attach additional pages/brochure if necessary) Water quality sampling stations are intended to provide dedicated, secure access to water that best represents the water quality in the Pressure Zone. There are

Pressure Zones within the City of West Kelowna. While some sample stations are already in use at various locations throughout the City's Water Distribution System, not every Pressure Zone has a dedicated station. This will be a multi-year project to complete installations in all Pressure Zones.

are

water quality directly within the zone, eliminating the need to access private properties.

Eclipse 88-SS

Stainless Steel Sampling Station for Any Climate

About the Eclipse 88 - SS

• Durable all stainless steel waterway

• Secure locking cast-aluminum enclosure

• No drain or threads to prevent contamination

• Designed for use in any climate

• Fully maintainable from above ground

Getting More Specific...

• 3/8” unthreaded sample nozzle

• 3/4” FIP inlet connection

• 1/8” evacuation tube to avoid freezing (electric evacutation pump (EEP) sold separately)

• Lockable powder-coated cast-aluminum enclosure (option to cast your own logo)

• Can accomodate any bury depth in 6” increments

• Extreme cold package recommended on buries 5’ or deeper

• Optional pedestal up to 3’ (pictured)

Create a Custom Design!

Special powder coat paint, boxes with logos, pedestals, and more!

Don’t let them freeze!

Our rechargeable battery-powered evactuation pump (EEP) keeps your stations dry and safe from freezing during cold weather -248-

The most recent cathodic protection surveyof the Powers Creek WTP underground pipeline infrastructurewas conducted inthe winter of 2023. The report recommended replacing and relocating the anode ground bed to renewthe cathodic protection of the 34" pipeline that services the Powers Creek area. This will also reducethe risk of damage to the existing rectifier, which is a costlypieceof equipment to replace. It should be noted that this is the original equipment from beforethe WTP was built, so it has reached the end of its life cycle. This capital request includes a $44,000 proposal and a $10,000 contingency. 6.

(Please explain in description)

5. DESCRIPTION Desired Manufacturer/Model (attach additional pages/brochure if necessary)

Water system securityupgrades arenecessaryto protect water infrastructure as per best management practices and the Drinking Water Act and Regulation. Installing securityat keywater infrastructure sites is essential for public health protection, deterring vandalism and theft, ensuring compliance, facilitating emergencyresponse, maintaining public confidence, and mitigating risk.

Thereare11 sites requiring hatch securityand 21 hatches total. The cost per site is based on the installation of the hatch switch (see supporting information) and its integration into the existing securitysystem or the design/build for sites without an existing securitysystem. Additionally, all facilities will requirethe same locking mechanisms, including keyfob entry, to maintain consistencythroughout all water distribution buildings, which requires hard-wired internet access to each building.

6. CAPITAL EXPENDITURE RATIONALE AND STRATEGIC IMPORTANCE (attach additional pages as required)

CITY OF WEST KELOWNA

PRIORITY (check one)

5. DESCRIPTION Desired Manufacturer/Model (attach additional pages/brochure if necessary)

100,000.00 20,000.00 $ 150,000.00 30,000.00

Building on the significant progress made with the 2020 cathodic protection system renewal funding, the next phase for 2025 includes constructing four new or renewed locations within the Rose ValleyWater Service Areas (RVWSA) and compiling detailed system information to be integrated into the CWK West Maps GIS. These upgrades are essential to provide corrosion protection for the City’s steel water mains in the RVWSA, which are showing signs of deterioration.

Some of the City’s current infrastructure has unsafe levels of high DC voltage, broken feeder cables to the cathodic beds, and depleted cathodic beds. Most cathodic rectifiers are over 30 years old and do not meet current safetystandards. This capital funding will be used to upgrade these systems to meet modern safetystandards.

6.

CITY OF WEST KELOWNA

5. DESCRIPTION Desired Manufacturer/Model(attach additional pages/brochure ifnecessary)

The watermetering program provides the consumptive patterns for allthe water connections to the City watersystems. This consumption is howthe Citybills for water usage. The originalwatermeters installed bythe Cityand previous irrigation districts are nowreaching theirend of life and are being replaced as a priority project supported byCouncil. On average there are approximately150-200 meters that stop working quarterly. As of July2024,the watermeter replacementprogram was fullystaffed and as of October 2024 the program is nowstarting to move on to proactive replacements on meters reaching their end of life.There are over 4000 meters that willrequire reactive and proactive replacement over the next2 years. This costing above is inclusive ofboth replacementmeters and new building installations for residentialproperties.

6. CAPITAL EXPENDITURE RATIONALE AND STRATEGIC IMPORTANCE (attach additional pages as required)

CITY OF WEST KELOWNA

1.PROJECT

(Please explain in

5.DESCRIPTION Desired Manufacturer/Model (attach additional pages/brochure if necessary)

A consultant has been retained byCWK to update the City's SanitaryMaster Plan. A previous budget of $250k was approved, however the original 2014 model was a product that has been phased out and is no longer active. To convert and update the model to produce accurate outputs and deliverables, the model will be required to be converted using current software.

1.PROJECT ITEM

Pritchard/Green BayLift Station Upgrades (Design)

CITY OF WEST KELOWNA

2.PRIORITY(check one)

(Please explain in description)

5.DESCRIPTION Desired Manufacturer/Model (attach additional pages/brochure if necessary) Budget is requested for the design needed to upgrade the sanitarylift stations at Pritchard Drive and Green BayRoad. An above-ground valving package will be installed, similar to the recent upgrades at the Sunnyside Road lift station. All waterfront lift stations pose a high-consequence environmental risk due to their close proximityto Okanagan Lake.

1.PROJECT ITEM Horizon Drive Sewer Main Replacement

KELOWNA

2.PRIORITY(check one)

(Please explain in description)

5.DESCRIPTION Desired Manufacturer/Model (attach additional pages/brochure if necessary)

Thereis an 85m section of 200mm diameter sanitarysewer main that does not meet the long term capacityneeds of the contributing area. Upsizing this main to a 250mm diameter with the Horizon Drive Pedestrian Improvements will ensure that the sewer system is able to conveythe demands of the surrounding area in the long term. This replacement was a recommended project withinthe 10-year timeline of the 2014 SanitaryMaster Plan.

6.CAPITAL EXPENDITURE RATIONALE AND STRATEGIC IMPORTANCE (attach additional pages as

7.NEW

Turn static files into dynamic content formats.

Create a flipbook
Issuu converts static files into: digital portfolios, online yearbooks, online catalogs, digital photo albums and more. Sign up and create your flipbook.