Tonttitarjonta


![]()



Maaseudun rauhaa ja luonnonläheisyyttä lähellä isoa keskusta: Jyväskylän palvelut sijaitsevat vain 30 kilometrin päässä. Toivakka tarjoaa edullista asumista sekä laadukkaat peruspalvelut. Harrastusmahdollisuuksia on niin kesä- kuin talvilajeista kiinnostuneille. Kunnan alueella on valokuitu, joka mahdollistaa tehokkaan etä- tai hybridityöskentelyn.
Tutustu Toivakan tonttitarjontaan!
Ahokkaan asuinalueelta on 1,3 kilometriä keskustaan. Kävelymatkan päästä löytyvät kaikki kunnan palvelut, muun muassa koulu, päiväkoti, terveysasema, liikuntapaikat, kaupat ja ruokaravintolat. Noin kilometrin päässä sijaitsee Leppäveden venesatama, josta löytyy yleinen grillikatos.
Tehokkuusluku e = 0,25 (kerrosalan suhde tontin / rakennuspaikan pinta-alaan) Kerrosluku I
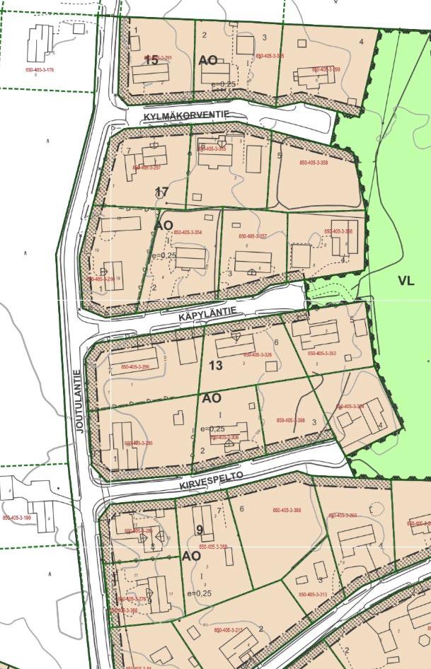
Tonttitiedot Ahokas
tontti tonttitunnus osoite pinta-ala m² rak. oikeus m² kerrosluku
AO 17/5 Kylmäkorventie 5 1 680 420 I
AO 13/3 Kirvespelto 6 ~1 100 * 275 I (Myyty)
AO 9/6 Kirvespelto 5 ~2 000 * 500 I * pinta-ala tarkentuu kiinteistön lohkomistoimituksessa. Toivakan kunta vastaa määräalana luovutettavien tonttien lohkomiskustannuksista.

17/5 13/3 9/6

Aittojärven asuinalue on luonnonläheinen ja sitä on alettu rakentaa vuodesta 2008 lähtien. Aittojärvi on etenkin lapsiperheiden suosiossa. Kevyenliikenteenväylä kulkee asuinalueelta keskustan läpi Viisarimäkeen. Aittojärven alueelta on 1,5 kilometriä Toivakan keskustaan ja peruspalveluiden pariin. Uimarannalle matkaa on noin 800 metriä.
Tehokkuusluku e = 0,20 (kerrosalan suhde tontin / rakennuspaikan pinta-alaan) Kerrosluku Iu½ (murtoluku roomalaisen numeron jäljessä osoittaa, kuinka suuren osan rakennuksen suurimman kerroksen alasta ullakon tasolla saa käyttää kerrosalaan laskettavaksi tilaksi)
Tonttitiedot Aittojärvi
tontti tonttitunnus osoite pinta-ala m² rak. oikeus m² kerrosluku
AO 101/1
Aittojärventie 11
Iu1/2 AO 101/5 Aittojärventie 3 1
Iu1/2 AO 101/6 Aittojärventie 1 1 790 358 Iu1/2
Kakaravaaran asuinalueelta on 1,2 kilometriä Toivakan keskustaan, jonne peruspalveluiden ääreen on helppo kulkea vaikka kävellen. Asuinalueen lähellä on myös linja-autopysäkki. Kakaravaarassa on omakotitalojen lisäksi useita rivitaloja. Kakaravaaran alueelta pääsee helposti Toivakan nähtävyydet kiertävälle Perinnepolulle.
Tonttitiedot Kakaravaara
tontti tonttitunnus osoite pinta-ala m² rak. oikeus m² kerrosluku
AO 53/1 Kaurakuja ~1 100 *
AO 53/2 Kaurakuja ~1 100 *
Iu1/2
Iu1/2 (Myyty)
AO 53/4 Apilakuja ~1
AO 55/1 Uudensillantie ~2 100 *
Iu1/2
Iu1/2
AO 55/3 Äikärintie ~1 900 * 475 Iu1/2
* pinta-ala tarkentuu kiinteistön lohkomistoimituksessa. Toivakan kunta vastaa määräalana luovutettavien tonttien lohkomiskustannuksista.

Nisulan kylä sijaitsee upean Päijänteen rantamaisemissa. Nisulan kylän alueelta on noin 20 kilometriä Toivakan keskustaan. Nisulassa toimii vireä kyläyhdistys ja kylä on monen vapaa-ajan asukkaan suoiossa. Jyväskylästä ajaa Nisulan kylälle 30 minuutissa. Lähellä Nisulan kylää sijaitsevat myös Leivonmäen kansallispuiston mahtavat retkeilyalueet. Myytävät tontit soveltuvat niin vapaa-ajan asunnoille kuin vakituiseen asumiseen.
Tonttitiedot Nisulan kylä
tontti tonttitunnus osoite pinta-ala m² rak. oikeus m²
AO 1* Laivasillantie 3 909
(varattu) AO 2* Laivasillantie 3 167
3
5
6
7
8 Laivasillantie 5 507
AT 9 Laivasillantie 4 887
AT 10
AT 11
AT 12
AT 13
(varattu)
Laivasillantie 5 648
Laivasillantie 5 218
Laivasillantie 5 093
Laivasillantie 5 917
TV Niemelä 7 131 Suunnittelutarve ratkaisulla (1/2 varattu)
* Rantatontit
Tonttiehdoissa: Tontin ostaja vastaa kiinteistökohtaisen vesi- ja jätevesijärjestelmän suunnittelusta ja toteuttamisesta, sähkö-, ja muista mahdollisista liittymistä ja niiden kustannuksista. Nisulan omakotitonttien luovutusehdot löytyvät tästä linkistä.

Nisulan kylän alueen rakennuspaikat saavat etuoikeuden venepaikan varaamiseen uuteen pienvenelaituriin kulloinkin voimassa olevalla vuosittaisella venepaikkamaksulla.


Palosjärven rannalla sijaitseva omarantainen AO-tontti. Rakennuspaikalle saa rakentaa yhden asuinrakennuksen tai loma-asunnon sekä tarvittavat talous-, varasto- tms. rakennuksia. Rakennuspaikan yhteenlaskettu kerrosala saa olla enintään 350 k-m2. Tontti on rinnetontti. Alueella ei ole kunnallistekniikkaa.
Noin 1 ha:n kokoinen rakennuspaikka, joka muodostuu määräalasta 850-404-7-255 ja osasta kiinteistöä 850-404-7-254. Kiinteistötoimitus on vireillä. Tonttia rasittaa tieoikeus viereiselle myydylle tontille (yksi yhteinen tieliittymä maantielle). Rakennuspaikan (AO) lisäksi alueeseen kuuluu yleiskaavan mukaista maa- ja metsätalousmaata (M).
Tonttitiedot Paloskylä
tontti osoite pinta-ala m2 rak. oikeus m2 kerrosluku
AO Paloisentie ~10 000 350 enint. II Rakennuspaikan (AO) pinta-ala on ~6900 m2. M-alueen pinta-ala on ~4200 m2.
Pinta-ala tarkentuu kiinteistön lohkomistoimituksessa. Toivakan kunta vastaa määräalana luovutettavien tonttien lohkomiskustannuksista.


Saarinen-järven rantamaisemissa sijaitseva Saarisen asuinalue on lapsiperheiden suosiossa. Alueen rakennukset ovatkin moderneja ja nykyaikaisia, maaseutumaisessa ympäristössä.
Saarisen asuinalueelta on Toivakan keskustan peruspalveluiden pariin vain 1,3 kilometriä, Leppäveden venesatamaan on 1,3 kilometriä ja yleiselle uimarannalle noin 1,5 kilometriä.
Tonttitiedot Saarinen
tontti tonttitunnus osoite pinta-ala m2 rak. oikeus m2 kerrosluku
1 tehokkuusluku e = 0,25
2 tehokkuusluku e = 0,20
* pinta-ala tarkentuu kiinteistön lohkomistoimituksessa. Toivakan kunta vastaa määräalana luovutettavien tonttien lohkomiskustannuksista.
Uudispellontie

tontti tonttitunnus osoite
AP 110/1 Uudispellontie 4 275 855 Iu½
AP 110/2 Uudispellontie 4 603 920 Iu½
Rivitalotonttien oma esitekokonaisuus löytyy tästä.
Iltaruskontie / Jussilanpolku

81/2, 4045 m²
81/2, 5760 m²
tontti tonttitunnus osoite pinta-ala m2 rak. oikeus m2 kerrosluku
AP 81/2 Iltaruskontie 4 045 1 213 II
AP 81/2 Jussilanpolku 5 760 1 728 II

Kysy tästä lisää!
Rakentamisvalmis kerrostalotontti, johon mahdollista rakentaa viiteen kerrokseen ja enimmillään noin 2500 k-m2!
Lisätiedot ja luovutusehdot: toivakka.fi/kerrostalo

AO -korttelit 9, 13, 17, 40, 53, 55, 101, 131, 132, 133
Hulevedet tulee mahdollisuuksien mukaan käsitellä jo tontilla viivyttämällä ja luonnonmukaisesti maaperään imeyttämällä tai ohjata imeytyspainanteiden, pienten ojien ja kosteikkojen kautta vesistöön. Hulevesiä ei saa johtaa jätevesiviemäriin, naapuritontille tai tiealueelle.
Rakennuksen etäisyys naapuritontin rajasta tulee olla vähintään 4 metriä.
Rakentamisella ei saa tuhota luonnon merkittäviä kauneusarvoja ja erikoisia luonnonesiintymiä, kuten kauniita yksittäispuita tai siirtolohkareita.
Maisemallisesti merkittäviä puita ei saa kaataa.
Rakentamisessa on mahdollisuuksien mukaan säilytettävä rakennuspaikan luonnonmukaisuus sekä säästettävä arvokkaita kasvillisuuden reunavyöhykkeitä.
Autopaikkoja on rakennettava tonteille korttelialueen käyttötarkoituksesta riippuen vähintään 2 kpl/ asunto.
Tonteille ei ole mahdollista asentaa maalämpöä (pohjavesialue).
AP -korttelit 81, 110, 135
Autopaikkoja on rakennettava tonteille korttelialueen käyttötarkoituksesta riippuen vähintään 2 kpl/asunto.
Pysäköintipaikat tulee rajata ja elävöittää istutuksin enintään 10 autopaikan ryhmiin.
Vesihuoltolaitoksen toiminta-alueella sijaitseva kiinteistö on liitettävä laitoksen vesijohtoon ja viemäriin, kun alue on vahvistettu vesihuoltolaitoksen toiminta-alueeksi.

Lisätietoja: toivakka.fi/toivakan-vesihuoltolaitos
VIISARIMAKI.FI
Teollisuustontti loistavalla sijainnilla VT 4 läheisyydessä Toivakan Viisarimäessä. Alueella on nykyaikainen kunnalistekniikka, hyvä ja nopea yhteys Jyväskylän seudulle ja pääkaupunkiseudulle pääset muutamassa tunnissa. Tonttijako on ohjeellinen ja mukautuu yrityksesi tarpeita vastaavaksi.

tontti tonttitunnus osoite pinta-ala m2 rak. oikeus m2 kerrosluku
TYKL 150/1 Heittokankaantie ~11 790 ~2 350 II
TYKL 151/1 Heittokankaantie ~29 150 ~5 800 II
TYKL 152/1 Heittokankaantie ~14 590 ~2 900 II
TYKL 153/1 Heittokankaantie ~2 850 ~570 II
TYKL 153/2 Heittokankaantie ~2 940 ~580 II

AO, AT ja AP -tontit
Yritystontit

Kinnusten perhe aloitti rakentaa taloaan kesän 2021 alussa Toivakkaan. Kinnuset ovat olleet tyytyväisiä valintaansa. Vanhemmat kulkevat töissä Jyväskylässä, jonne ajomatka Toivakasta käy ripeästi.
Keijo Kinnunen kertoo rakentamisen sujuneen mutkattomasti ja asioinnin kunnan kanssa olleen ihmisläheistä ja ammattitaitoista:
”Rakennusprojekti oli sinällään helppo, sillä kunnallistekniikka löytyi valmiiksi alueelta. Saimme itse määrittää talon paikan tontilla. Toivakassa ei ole sellaista kuukausia kestävää byrokratiaviidakkoa rakennuslupien suhteen kuin vaikka isoissa kaupungeissa. Tonttihinnat ovat selkeästi edulliset, ja säästöä syntyy jo reippaasti siitä, että Toivakassa on tarjolla valmiiksi rakentamisessa tarvittavat palvelut” Keijo summaa.
Kinnuset pitävät Toivakan luonnonläheisyyttä tärkeänä harrastusten sekä liikuntamahdollisuuksien kannalta. Vireään kuntayhteisöön on ollut helppo sopeutua ystävällisen ja avoimen suhtautumisen vuoksi. Myös omaa rauhaa on Toivakassa riittävästi tarjolla.
Pariskunnalla on asuinkokemusta entuudestaan niin muualta Keski-Suomesta kuin pääkaupunkiseudultakin. Tietynlainen kotiseuturakkaus vaikutti myös valintaan rakentaa koti keskisuomalaiseen kuntaan.
Niina Kinnunen kuvailee Toivakan kunnan olevan lapsiperheelle turvallinen ja sopiva vaihtoehto asua ja elää.
"Lapsille löytyy mukavasti harrastusmahdollisuuksia ja keskustan tuntumassa asuessa koulu on kävelymatkan päässä. Ison kaupungin palveluidenkin pariin pääsee tarvittaessa puolessa tunnissa”, hän lisää.


Toivakan kunta
Iltaruskontie 2, 41660 Toivakka
kirjaamo@toivakka.fi
p. (014) 267 4000 vaihde