WangarattaChronicleWednesdayAugust272025

Page 1


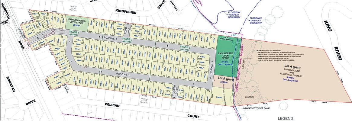
More housing options in the south on the table near Kingfisher Drive and Pelican Court

Permission to grant a permit for a 127-lot subdivision off Wangaratta’s Murdoch Road was recommended to councillors at Tuesday afternoon’s August meeting. It was proposed the subdivision be carried out in three stages across 16.6 hectares at 197 Murdoch

Road, between existing residential neighbourhood areas of Kingfisher Drive and Pelican Court.

Most of the subject land is

located within General Residential Zone, with the rear portion in a Farming Zone.

Applicants sought approval of lot sizes ranging from 349 square metres to 900+sqm, with the largest portion including 69 lots between 650-699sqm.

Two open space areas

are proposed under the plans, with one unencumbered area along the northern boundary linking with Albert Court Reserve, 2818sqm in size. The other would be encumbered and supports the proposed drainage reserve located adjacent to the

existing lagoon, covering 7918sqm of land.

Eight objections were received about traffic, position of the proposed open space, stress on health care system, sewer capacity, loss of native vegetation, orientation of lots and their sizes, access roads to the

new housing, detriment to neighbourhood character, drainage, and flood risk.

Concerns about increased traffic were referred to the Department of Transport and Planning, however, they didn’t raise any concerns specific to Murdoch Road.

■ Continued page 3

PHOTO: Steve Kelly

Program to give residents power to save on energy

The Rural City of Wangaratta has confirmed its participation in the Goulburn Murray Solar Savers program, a local government-led initiative helping households and businesses access affordable, high-quality energy solutions.

Launched in July 2025, this pilot program is modelled on the successful Solar Savers initiative operating across Melbourne metro councils.

It offers residents and business owners access to vetted installers and government rebates for a range of energy-efficient products, including:

• Rooftop solar systems;

• Home batteries;

• Heat pump hot water systems;

• EV chargers;

• Heating and cooling systems;

• Thermal efficiency upgrades.

Stephen Swart, council’s director sustainability and culture, said the Goulburn Murray Solar Savers program empowers our community to take meaningful steps toward energy efficiency and sustainability.

“This initiative makes it easier and more affordable for households and businesses in Wangaratta to embrace clean energy solu-

tions, and we’re excited to see the positive impact it will have across our region,” Mr Swart said.

ter their interest via www. goulburnmurraysolarsavers. org.au.

Based on their needs, and insurance coverage.

conducted on five per cent of

The program is led by the

Goulburn Murray Climate Alliance, of which Rural City of Wangaratta is a member.

Other participating councils include Alpine Shire, Greater Shepparton, Indigo, Mitchell, Murrindindi, and Strathbogie. A webinar series is currently in development, offering residents and businesses the opportunity to hear directly from installers and the Solar Savers team.

Details will be available soon on the program website.

Enquiries for the Goulburn Murray Solar Savers program can be directed to info@goulburnmurraysolarsavers.org.au.

Funds back volunteer efforts in community

Three local volunteer communi ty organisations have been award ed a share of $57,925 through the latest round of the Federal Govern ment’s Volunteer Grants Program.

Open Door Neighbourhood House (ODNH), Wangaratta Hockey Club and 1st Yarrunga Scout Group are among 18 organisations within Indi electorate to receive funding.

upgraded materials,” Gady Parker, ODNH office administrator, said.

“Being able to access a mobile phone to assist their volunteering duties will support volunteers, which in turn will engage and support local community members.

unemployed, have a disability, are retired or experience isolation.”

“Volunteers are critical to the operating of the neighbourhood house, contributing to the committee of governance, administration, tax help, program facilitation, reception, fundraising, cleaning, maintenance, food for all program and gardening.

“The work environment we offer gives volunteers the opportunity to increase work/employability skills and self-esteem/self-worth.”

Meanwhile, the 1st Yarrunga Scout Group will be purchasing essential hiking equipment and petrol vouchers for volunteers with the funding.

Independent federal MP for Indi Helen Haines said the successful applicants were recommended for funding after being assessed by a panel of local community leaders.

The Wangaratta Hockey Club was awarded $2053 for First Aid equipment, ODNH was awarded $2896 for operational costs, and the 1st Yarrunga Scout Group was awarded $2450 for essential equipment and volunteer expenses.

ODNH will use grant money to supplement operational costs associated with insurance, telephone and internet costs.

“This will allow us to free up and spend funds on the volunteers specifically i.e. training and providing

“Receiving this funding to cover those embedded costs assists ODNH to continue providing our services.

“We operate with approximately 30 volunteers who contribute more than 130 volunteer hours in an average week.

“This has increased in recent years.

“We are committed to creating volunteering opportunities for our community, particularly those that may find it daunting or inaccessible in other more formal settings.

“We offer volunteering opportunities to those that are long term

“We would not be able to have such a significant contribution to community without every single one of our volunteers.

“Whilst ODNH is government funded we would be unable to provide the services we do without our volunteer base and supported by just such grants as the Volunteer Grants Program.

“We want to provide our volunteers with the best possible facilities and advantages.

“Volunteers benefit from working in a social, interactive environment which constructively helps and engages local community.

“Volunteering at the house is a wonderful way of furthering pathways to study and employment.

“The equipment will replace and supplement gear acquired via a grant in 2013, which has been extensively used by our youth members,” Melissa Duguid, group leader of 1st Yarrunga Scouts, said.

“As our group grows, this updated equipment will ensure we can continue delivering safe, effective, and impactful programs.

“Funding will directly benefit our 55 youth members and 19 volunteers, contributing to personal development, leadership, and community engagement for young people.

“The impact of our programs extends beyond these youth to their families, fostering a sense of community which continues to grow as our group expands.”

Est. 1884, Incorporating Wangaratta Despatch, Est. 1861
SUPPORTING VOLUNTEERS: Open Door Neighbourhood House volunteers, including Geoff White, Yolanda Vanherrikhuyzen, Bruce Noylor and Geoff Miller, will have more support thanks to recent grant round.
PHOTO: Jordan Duursma

MAN RESCUED FROM OXLEY CRASH, AIRLIFTED TO THE ALFRED

A man has been airlifted to hospital following a single vehicle crash on Oxley Flats Road near Wangaratta on Tuesday morning.

CFA responded to reports of a vehicle accident near Oxley at around 7:37am.

Three CFA units responded alongside SES, FRV, Victoria Police and Ambulance Victoria.

Upon arrival crews found a single vehicle had crashed at the approach to a bridge.

CFA supported SES crews to extricate one occupant, believed to be a man in his 20s.

Ambulance Victoria said a specialist air ambulance helicopter as well as Mobile Intensive Care Ambulance (MICA) and Advanced Life Support (ALS) paramedic crews responded to the scene.

A Victoria Police spokesperson said the male driver and sole occupant of the car which had crashed into the bridge was airlifted to the Alfred Hospital with nonlife-threatening injuries.

Two police officers killed at Porepunkah property

Two police officers have have been killed and another injured following a shooting at a Porepunkah rural property on Tuesday morning.

Reports indicate that Victoria Police members attended the property to execute a search warrant when the offender has shot the members, two fatally.

It’s believed the shooter has then taken the weapons from the members.

As of 3.30pm Tuesday he remained at large, with the area an active police operation, as a a police helicopter and ground patrols searched nearby bushland.

Porepunkah township businesses, organisations and residents were instructed to stay indoors.

Armed police members have been patrolling the streets, including Special Operations

Group police members.

Victoria Police confirmed with the Wangaratta Chronicle at 12 noon on Tuesday that “police are currently at a property in Porepunkah”.

“This is still an active incident and we will provide more information when it’s operationally safe to do so,” a police spokesperson said.

“We ask people avoid the area.”

Alpine Shire Council posted a message on its website at about 1.30pm that it had closed all council facilities effective immediately and Tuesday night’s ordinary council meeting has also been postponed.

Alpine Shire Mayor Sarah

Nicholas said “today has been a day of deep sorrow and shock for our community”.

“First and foremost, we extend our heartfelt condolences to the families, friends, and colleagues of the two police officers tragically killed in Porepunkah,” Cr Nicholas said.

“Our thoughts, love, and unwavering support are with you during this in -

credibly painful time.

“We hold our police in the highest regard.

“They serve with courage, compassion, and dedication, and their loss is felt profoundly across our region.

“We are deeply grateful for their service and commitment.

“To our community - we know today has been unsettling and emotional.

“We will keep our community informed as services resume.

“We are grieving together, and we will continue to support one another with compassion and care. Please stay safe.”

Porepunkah Primary School principal Jill Gillies told the Wangaratta Chronicle midafternoon on Tuesday that they were doing okay.

“We practice these things and we’re just in lock down at the moment,” Ms Gillies.

“As we are under the direction of Victoria Police at the moment, we’re not allowed to have anyone come in or anyone go out.

“It’s just pure lockdown, so not evacuation and everyone is just locked down into their classrooms with their class teachers.”

Premier Jacinta Allan issued

ANOTHER BATCH: More housing has been proposed for South Wangaratta off Murdoch Road near Kingfisher Drive and Pelican Court.

127-lot subdivision ups ante in Sth

■ From page 1

Extra traffic along Pelican Court wasn’t viewed as an issue by council as this road also connects back to Murdoch Road and this would be the preferred access point.

As to sewer capacity concerns, North East Water did not object to the issue and no specific concerns were flagged around capacity. In terms of vegetation, the applicant is proposing to offset the loss of native vegetation via their party offsets.

Another objector believes the subdivision is not consistent with the quiet residential character of the area. However, council officers view the proposal as just an extension of the existing residential neighbourhoods.

Wang

By the way of flood risk associated with the King River, council reported that the application has sought to locate nearly all of the residential lots outside of the parts of the site affected by the Land Subject to Inundation Overlay (LSIO) and Flood Overlay (FO). North East Catchment Management Authority also did not object to the issue of the permit.

a statement that she had been briefed by the Chief Commissioner of Victoria Police.

“Victoria Police officers, and all our first responders, show extraordinary bravery and courage every single day,” Ms Allan said.

“They are the best of us – and the thoughts of all Victorians are with them today.”

Prime Minister Anthony Albanese has responded to the shooting.

“There is grave concern for some of the police officers who are involved,” Mr Albanese said.

“Our thoughts are with the police for the work that they do each and every day.

“The men and women who wear our uniform, wear the uniform of the police force take risks each and every day.”

PHOTO: Blair Thomas/Border Mail
AIRLIFT: A specialist air ambulance helicopter as well as Mobile Intensive Care Ambulance (MICA) and Advanced Life Support (ALS) paramedic crews responded to the incident. The air ambulance transported the patient to The Alfred hospital.
PHOTO: Steve Kelly

Reflecting society in a really good read

As a journalist, Michael Brissenden naturally sees stories everywhere, and in recent years he’s found a way to channel them into fiction.

“I’ve done a lot and seen a lot, and it does inform my writing,” said the former ABC foreign correspondent and Canberra-based political editor, who will visit Wangaratta on 4 September.

“As a journalist, you see lots of different ways of life and speak to people you otherwise might not.

“When I started writing (fiction), part of it drew on my background in journalism, and part of it was the crime and thriller reading I had enjoyed from when I was growing up.”

Michael’s latest book, ‘Dust’, is his fourth novel, and follows the success of last year’s ‘Smoke’.

“I had tried on a number of occasions to write fiction, and it wasn’t until 10 years ago that it started to work for me; like everyone, I’ve got a couple of unpublished books in the bottom drawer,” he said.

“I wrote one that I thought was okay, and got a lot of rejections, but one message came back saying that there was one sentence that was pretty good; that was enough to encourage me to keep going.”

‘Dust’ centres on the fictional town of Lake Herrod, a once-thriving community which now lies in the shadow of an almost-dry lake.

When Aaron Love discovers a fresh corpse near the cracked lakebed, along with evidence his missing father is alive and linked to a web of organised crime, he is thrust into a world of deception, injustice and betrayal.

With the town on the brink of collapse, Aaron and a haunted detective, Martyn Kravets, uncover a web of conspiracy that reaches far beyond the small community.

“After ‘Smoke’, I was looking at a follow-on, and was reading about Lake Mead in Nevada, which was drying up, and they were finding bodies which had been in the lake,” Michael said.

“The more I researched, the more

interested I became, but I didn’t want to write another book set in the US (as ‘Smoke’ was); I remembered Lake Cargelligo in Western NSW which had dried up, and a number of other lakes that had done the same thing.

“I also wanted to do a book about people living on the margins; I read a lot of American crime fiction, and that’s a feature, and it’s happening in this country too.

“In many ways, the crime novel has become the new social novel, allowing people to look at society and what is happening in our world.

“Issues in small towns are really interesting, particularly in Australia; a lot have a veneer of mild prosperity, but underneath there is a lot of disadvantage, and a lot of people are struggling to make it all work.

“That’s particularly so in one-industry places; when that one industry goes, they are in real crisis, as with the town in this book.

“There are a lot of itinerant populations, and there is also a lot happening in the energy transition space (which is also raised in the book).

“It’s a really big issue for a lot of people, and is also open to a lot of misinformation.

“It’s providing an amount of investment and infrastructure, but is also disrupting a lot of people’s lives, and is being used as a political tool or weapon by people interested in inflaming discontent, so there is a lot to talk about in that space.”

While he’s able to draw on his journalistic knowledge and skills, Michael said fiction has brought different writing challenges and rewards.

“It’s actually quite hard - it’s a very different part of the brain that you’re using, and it’s also actually quite liberating,” he said.

“It’s nice not having to worry about writing someone else’s story; if the story decides it wants to go a certain way, you can let it go.

“At the same time, you need to pull back from the tendency of a journalist to want to explain everything and over-write.”

While he’s keen to explore issues

Garden produces the goods for school

Wednesday, 16 August, 2015

Justifying an outdoor learning garden was the hardest part in the fruition of the Cathedral College Science Garden, according to landscape artist and parent, Jenny Kjar.

The school’s Science Garden was officially recognised alongside eight other community projects from the Rural City of Wangaratta as finalists for the Keep Victoria Beautiful Tidy Towns Awards earlier this month.

“Years prep to 12 were part of the planning, design and construction,” Ms Kjar said.

“It was a garden not just for looking but for learning and discovery elements; it has a pizza oven, planting bush tucker, shelter, veggies, herbs and fruit.

“The recognition is really important, the project struggled to get going in the early stages with people understanding that you can learn to be in a garden and a space where all five senses are called upon.”

Ms Kjar said the Stephanie Alexander Kitchen Garden concept was used as inspiration to create the Science Garden.

The Tidy Towns – Sustainable Community Awards event ceremony will be held in Beechworth on Saturday, 17 October when winners of each category and the Tidy Town of the Year will be announced.

NEW RELEASE: MICHAEL BRISSENDEN’S NEW NOVEL, ‘DUST’, TELLS THE STORY OF A LAKE TOWN ON THE BRINK OF COLLAPSE WHEN A BODY IS DISCOVERED.

New book explores AFL folklore

STORYTELLER:

Crime author and journalist Michael Brissenden will visit Wangaratta Library on 4 September from 6.30pm, to discuss his new book ‘Dust’. PHOTO: Mike Bowers

he sees affecting society, Michael said his ultimate aim was for “people to read the book and say, ‘That was a really good read’.”

“I want people to say the story was great, the characters were interesting, and when they got to the end, that it made them think about a few things,” he said.

Michael said he had enjoyed his visit to Wangaratta while touring ‘Smoke’ last year, and was looking forward to his 4 September event to discuss ‘Dust’ with local readers and writers.

“I’d love people to come along and ask all sorts of questions - I love meeting readers and talking about the writing process,” he said.

“People have been saying for years that the book is dead, but from what I see at these events, I certainly don’t think so.”

Michael will be at the Wangaratta Library on Thursday, 4 September from 6.30pm, in conversation with Belinda from Edgars Books & News.

To book your place, visit https:// events.humanitix.com/in-conversation-with-michael-brissenden

The folklore of AFL football is as much a part of the game as its greatest goals, marks and grand finals.

It’s also the focus of a new book from journalist Glen Humphries.

‘Kevin Sheedy’s Bomber Jacket: Australian Football’s Controversies and Curiosities’ details the stories that have peppered the history of the game, as Humphries explains “even before the modern-day wall-to-wall coverage the sport now attracts”.

There’s the story of the player who allegedly took the field with a hook where his arm should have been, of a Carlton hard man who tarnished his legacy by mistakenly thinking he was an actor, and of a candidate for the worst team of all-time.

As well as Luke Beveridge’s actions on the dais after the 2016 grand final and Tayla Harris’ conversation-starting response to online trolls, the book touches on the shortest coaching stint in league history; a former star who made the transition to the big screen in a Ned Kelly film; and the nasty behaviour of Fitzroy fans in the early 1900s.

The collection of tales in ‘Kevin Sheedy’s Bomber Jacket’ is an essential addition to any sports library.

Released just ahead of the AFL finals series, and perfectlytimed for Father’s Day, it explores both the modern era of AFL and the sport’s early days, and includes 30 of Aussie Rules’ greatest stories, expertly told. Humphries, an awardwinning senior journalist with the Illawarra Mercury, spent a decade playing full back and back pocket for the Port Kembla Blacks reserve grade side; in that time, he acquired a flag, two concussions, several broken fingers and a bunch of stitches.

He has dedicated his new book to the Blacks ‘and other park footy players everywhere’.

‘Kevin Sheedy’s Bomber Jacket’ (RRP $29.99) is the latest in Humphries’ releases through Gelding Street Press, which also include ‘Sticky Wickets’, ‘Jack Gibson’s Fur Coat’, ‘Aussie Rock Anthems’, and ‘Great Sporting Sites Australia’.

It is available at all good book stores.

SHARING STORIES: In ‘Kevin Sheedy’s Bomber Jacket’, journalist Glen Humphries relates some of AFL’s quirkiest tales.
SCIENCE GARDEN RECOGNISED: Cathedral College students Alice Kjar (10) and Anna Findlay (13) were on hand to receive a certificate from Gary Mogford of Keep Victoria Beautiful with parent and landscape artist Jenny Kjar. PHOTO: Luke Plummer

Wanted man behind bars after alleged carjacking

A Wangaratta man wanted on several warrants is alleged to have violently stolen a car from an elderly man and crashing it some one kilometre away on Saturday.

The 26-year-old appeared at Wangaratta Magistrates’ Court from a police custody link in Dandenong after his arrest in Berwick on the weekend.

A Victoria Police spokesperson said it was alleged the man was behaving erratically before he stole a Subaru Forester from a 91-year-old man outside an aged care facility on Melville Park Drive in the south-eastern suburb of Melbourne around 12:30pm.

“The 91-year-old driver sustained minor injuries and

was transported to hospital,” they said.

The Wangaratta man was alleged to have driven to High Street, some one kilometre away, where he crashed the SUV around 12:45pm.

He was arrested on Lyall Road at a nearby shopping complex and taken to hospital under police guard.

The 26-year-old was then

charged with aggravated carjacking, recklessly cause injury, burglary, theft of motor vehicle, theft, unlawful assault, reckless conduct endangering life, drive in a manner dangerous and fail to appear on bail.

He sat quietly in court as it was heard the 26-year-old was also facing charges for alleged offending in Wangaratta and was wanted on several

warrants issued last week.

Defence counsel Calvin Sloan said it was his client’s first time in jail, and he was withdrawing from ice and alcohol.

Mr Sloan said the 26-yearold was diagnosed with schizophrenia, PTSD and was anxious about his first time behind bars.

Magistrate Megan Casey remanded the man in custody to re-appear at Wangaratta Magistrates’ Court on 25 September for his Wangaratta related matters. He will face a committal mention at Melbourne Magistrates’ Court on 17 November for the charges relating to the alleged carjacking. There was no application for bail.

MP calls for action, concerned by over crowded trains, increase of oversupply buses

State defends safety of its Albury V/Line service

A local MP has called for urgent government action after it was revealed overflow buses on the Albury Line were required on more than half of days to June this year.

Member for Benambra Bill Tilley said cheap fares had driven unprecedented demand since its introduction in 2023, and even overflow buses haven’t prevented passengers from being forced to stand.

Last week in the Victorian Parliament Mr Tilley called on the Minister for Public Transport, Gabrielle Williams, to guarantee the safety of passengers left to stand or sit on “inappropriate” fold down seating.

Mr Tilley provided an image from a carriage in the 7am service to Melbourne on 1 August, showing people standing and the emergency side seating fully occupied.

Between January and the end of May, it was revealed overflow buses were needed on 78 of the 150 days.

Mr Tilley said overcrowded V/Line trains were a catastrophe waiting to happen.

“These are trains that can reach speeds of 130kmh, if the train hit something or was derailed, the people inside are travelling at 36m a second,” he said.

A STAND:

“They would become a projectile until something stops them – a wall, a seat, a window, more than likely another person.

“It would be like getting hit by a small truck – the chances of surviving are slim; of walking away uninjured close to zero.”

In recent years, there has been state government investment in improving the Albury Line, with more modern, reliable and accessible VLocity trains introduced onto the line.

government defended its service, saying there was more options than ever for passengers.

Mr Tilley said the VLocity was a suburban train and suburban train policy can’t be applied to a four-hour trip.

“They have and never will be long-haul passenger trains,” he said.

“The cheap fares have seen the service in unprecedented demand and that’s great, but I fear that it is simply not safe.

“The government has a choice to make – dump the ticketing policy or invest in the right type of train.

“Just making this train into

$5000 fine for fatigued truck driver caught without emergency brakes, unsecure cargo

A former truck driver who breached heavy vehicle regulations and was caught without emergency braking and inadequately fastened cargo has been fined $5000.

The man appeared at Wangaratta Magistrates’ Court on Monday and pleaded guilty to 10 charges related to being classified as high as a critical risk on the roads and submitting false or misleading work diary records.

The court heard police intercepted a Volvo B-double truck southbound on the Hume Freeway near Glenrowan on 10 March last year.

The Campbellfield-based driver gave his work records

which revealed he had worked as much as two hours more than the maximum of 12 within a 24hour day.

He was also found to have submitted false or misleading work diary entries, as found out by CCTV footage and fuel receipts.

Upon police inspection of the truck, officers found goods were insufficiently secured on his trailer, wheel nut retainers were loose or missing and the EBS brakes weren’t connected. Representing himself, the man said he was confused as he thought he could work under basic fatigue management regulation hours, which include the

ability to work up to 14 hours.

He said he didn’t know how the EBS brakes weren’t connected or why his loads weren’t secured properly.

After having his licence suspended, he no longer drove trucks and was in Australia on a student visa.

Magistrate Megan Casey imposed a $5000 fine without conviction, noting it was the man’s first time before the court in breach of national heavy vehicle regulations.

“If you had to brake suddenly and your emergency brakes aren’t connected, it could’ve killed you or anyone else in your way,” she said.

a full set of six carriages, not the current two sets of three cobbled together, would add 57 seats – that’s a busload of people.”

Mr Tiley put a question on notice to Ms Williams asking how many services to Albury had been reduced from six to three car sets.

Ms Williams said 43 of 617 planned six car services were reduced to three car sets, around seven per cent of scheduled services.

“The most common reason

for reducing the number of train carriage on the Albury Line was train faults,” she said.

“Train faults can range from traction engine and brake faults to operations issues such as door, HVAC, wiper faults.”

To give passengers more certainty around seat availability, reservation-only seating was introduced in 2023 on the Albury Line.

All seats are available for passengers to reserve prior to travelling.

If all seats are booked, pas-

sengers have the option of purchasing an unreserved ticket, which may require them to stand for all or part of their journey.

Alternatively, passengers may also have the option of travelling on a coach, if one is available.

In April this year, V/Line also added an early morning coach service from Benalla, which services Wangaratta, Wodonga and Albury, giving people in the region another option to travel for work and study.

A state government spokesperson said the government had given Albury Line passengers more options to get where they need to go in recent years, with the addition of two weekend train services and more coach options to the timetable following the increase in demand from cheaper fares.

“The safety of passengers is V/Line’s top priority and they have introduced reservationonly seating on the Albury Line to give passengers more certainty around seat availability,” they said.

“We won’t take lectures from the Victorian Liberals and Nationals who cut regional rail lines and are inept in delivering major projects.”

V/Line and the Department of Transport and Planning continue to explore options to make improvements across the network.

TAKING
Benambra MP Bill Tilley showed this photo of a 1 August 7am V/Line service to Melbourne from Albury, with people being forced to stand. The state

Cheap fares shouldn’t compromise safety

A trip to Melbourne on the train is such a handy way to access all the best the city has to offer.

Whether it’s for a day at the footy, an event, a spot of shopping, or even for medical appointments, it’s traditionally been a stress-free ticket to metropolitan life for Wangaratta and district residents.

Just jump aboard at the Wangaratta station, watch the world go by, and be delivered into Southern Cross Station without having to deal with the hassle of finding a car park - ensuring you have more time for what you’re actually there to do.

Thanks to reduced V/Line fares, it’s also a cost-effective way of travelling to the city, and the drop in fares has been welcomed by hip-pockets across Victoria.

But cheap fares shouldn’t mean travellers have to compromise on safety and comfort.

For all the positive feedback from locals about the low prices, we’ve all heard the horror stories of people with unreserved tickets having to stand, or to sit on fold-down seating, because trains have been full.

We’ve also heard of - and witnessedthe distress of travellers waiting to get home after a busy day who have jostled and missed out on a spot aboard overflow buses, and then been required to wait in line.

Cheap tickets were always going to create greater demand, but it has not been sufficiently catered for.

Rather than fobbing off the concerns of local MP Bill Tilley, the Victorian government should take a closer look at the issue to provide a lasting rather than temporary fix.

CROSSWORD PUZZLE

The Australian Quiz

1

Uma Thurman starred as Mia Wallace in which movie?

(a) Pulp Fiction (b) Dangerous Liaisons (c) The Truth About Cats & Dogs (d) Gattaca

2 O Arise, All You Sons is the national anthem of which country?

(a) New Zealand (b) Papua New Guinea (c) Tonga (d) Fiji

3

Numismatics includes the study and collection of which of the following things? (a) Computers

(b) Stamps (c) Surveys (d) Coins

4

“Nobody beats Vitas Gerulaitis 17 times in a row” is a quote by Gerulaitis after he finally beat which player?

(a) Jimmy Connors

(b) Björn Borg (c) John McEnroe (d) Tony Roche

5 EGP is the currency code for the official currency of which country?

(a) Egypt (b) Eritrea (c) Estonia (d) Ethiopia

(d) Robert Menzies 7 (a) Ribs 8 (b) Jack Harlow 9

Lactalis purchase could end iconic dairy brands

The United Dairyfarmers of Victoria (UDV) believes the future of some iconic Australian dairy brands could be in jeopardy following the confirmed purchase of Fonterra’s Australian dairy assets by French dairy giant Lactalis.

Lactalis is now a global giant of the dairy industry following their purchase of Fonterra and that could spell the end for some iconic local brands.

Our farmers produce the best dairy products in the world and I hope this move doesn’t restrict consumers’ access to locally made, fresh Victorian dairy products.

The reduction in competition is likely to place downward pressure on farmgate prices, leaving producers with less negotiation power and jeopardising farm viability.

This consolidation of processors raises the risk of rationalisation of processing facilities.

Such moves could result in job losses, reduce regional investment, and undermine the infrastructure that has long supported Victoria’s dairy industry.

I’m also concerned that increased reliance on imported dairy products may emerge to meet domestic demand.

This would not only displace locally produced milk but also weaken the security of Australia’s own food supply.

It’s critical that the growing market share of a major processor reinforces the urgent need for strong regulatory oversight of contractual and supply chain practices to ensure farmers, regional communities, and consumers are not left behind.

Farmers need fair access to competitive markets and transparent contracts.

Without this, the future of the dairy sector and the communities it supports is at real risk.

Bernie Free, president, United Dairyfarmers of Victoria

Memories of Moscow Olympics flood back

I read with interest the story on Bright’s Bill Scott (Wangaratta Chronicle, August 18), who competed for Australia at the Moscow Olympics.

I also went to the Moscow Olympics, but as a spectator.

My friend Mike Hession, who was a long time teacher in Wangaratta, suggested in 1976 when the Montreal Olympics were on that we should take 12 months leave from the education depart -

6

Harold Holt served as Treasurer of Australia under which prime minister?

(a) Malcolm Fraser (b) William McMahon (c) Alfred Deakin (d) Robert Menzies

7

The transverse costal facets are most closely associated with which part of the human body?

(a) Ribs (b) Brain (c) Mouth (d) Fingers

8 In 2022, who performed the

(a) The Kid Laroi (b) Jack Harlow (c) Harry Styles (d) Joji

9 The Horse and His Boy is one of the novels in which wellknown children’s series? (a) A Series of Unfortunate Events (b) Harry Potter (c) The Chronicles of Narnia (d) Diary of a Wimpy Kid

10 Which country won the 2022 UEFA Women’s Euro tournament?

(a) Sweden (b) England

ment and go to the Moscow Olympics.

We got our leave and had packed up houses and were preparing to leave in early 1980 when boycotts were being talked about.

The only way we could go as tourists was with a tour company in Australia that had the rights.

So we opted for a tour that left Frankfurt in early August to Moscow flying Aeroflot.

We had 10 days in Moscow just for the latter part of the Games program.

We were accommodated in university digs along with spectators from other countries.

We met British, French, Swedish, Swiss and of course Russian spectators as well as Muscovites.

Everyone was very friendly.

We had a great cultural program which included SwanLake at the Kremlin Theatre plus the Moscow Circus.

Sporting highlights included seeing Sebastian Coe win the 1500 metres final.

We also saw Australian Rick Mitchell win silver in the 200 sprint.

I recall a jubilant Rob DeCastella entering the huge stadium for a top 10 finish in the marathon.

One of our group knew the ABC commentator Norman May, who excitedly met our group as Michelle Ford had just won gold in the pool.

His famous cry of Gold Gold Gold! Gold for Australia was born.

I found it very curious that Australia’s Prime Minister in 1980, Malcolm Fraser, decided in hindsight according to his memoirs, that the boycott was a mistake.

That’s not what the current Liberal leader Sussan Ley said in Parliament when addressing the Parliament and the visiting 1980 Olympians, including Bill, who were officially recognised last month.

David Godkin, Wangaratta

Thank you for National Stroke Week support

On behalf of Stroke Foundation, I want to extend our heartfelt thanks to everyone who helped share our life-saving message during National Stroke Week 2025.

By sharing the F.A.S.T. message you played a vital role in educating Australians about the signs of stroke and the importance of acting quickly.

When stroke strikes, it attacks up to 1.9 million brain cells per minute.

More people need to better equipped to recognise the F.A.S.T. signs of stroke and know to call the ambulance without delay:

Face – Check their face. Has their mouth drooped?

Arms – Can they lift both arms?

Speech – Is their speech slurred? Do they understand you?

Time – Time is critical. Call 000 immediately. Dr Lisa Murphy, Stroke Foundation CEO

WE

READ THROUGH: Members of the St Patrick’s Primary School choir, with help from their performing arts teacher Brigid Malcolm, are preparing for their role in the Opera Australia production of La Bohème at WPACC on 6 September. It is an exciting time for the young singers, who will experience being part of a professional production. PHOTO: Grace Fredsberg

Kinder community settles into Whitfield District Early Years

The Whitfield Community Childcare and Kinder has taken up residence at its new location on the site of the Whitfield Primary School, adopting the new name of Whitfield District Early Years.

Having started in former 1956 Olympic Games portables, which were renovated in 2023, the childcare and kinder service has continually developed over 40 years and it now suitably accommodated in a much larger, architecturally designed, fit for purpose facility, nestled among the trees by the school.

Educator Kate Walsh said they are focussed on making the most of the connection they now have with the school and its students - many of whom are big brothers, sisters and friends from childcare.

“We are working on sharing our facilities to support the school’s cooking programs, gardening alongside our school friends - and beginning the buddy system before the children even start at school, including having the school kids involved in our active literacy program,” she said.

“Together we’re working on a yarning circle, alongside Jessies Creekwhich was suggested by King Basin Landcare group as part of its regeneration project.

“It fits beautifully with the school and the early years program; time in nature is known to nurture us, to support connection, communication, calmness, imagination and respect.

“A yarning circle recognises all this plus more, while also supporting the embedding of respect for Indigenous culture - and a bush tucker garden has been planted as part of this.”

The Whitfield kinder project was funded from a pool of $1.3 billion allocated in the 2023-24 Victorian Government Budget, to build around 100 new kindergartens for the Best Start, Best Life program.

Wangaratta Senior Citizens Club will conduct its annual general meeting on Wednesday, 27 August.

The club will also host indoor carpet bowls on Thursday from 1pm, cards (500) on Friday from 1.30pm, indoor carpet bowls on Monday from 1pm and cards (500) and hoy on Tuesday from 1.30pm, all in the clubrooms in Tara Court or the adjoining St Patrick’s supper room.

The Wangaratta Royal Children’s Hospital Ladies Auxiliary will hold a stall in St Patrick’s Hall on Saturday, 6 September from 9am.

The usual array of knitted goods, preserves, cakes and freshly-made lamingtons will be available.

The next gathering of the Oxley Garden Group will be held at Diane Newton’s garden at 3 Sawmill Lane, Moyhu on Thursday, 11 September, beginning at around 10am.

Bring your own cup, chair and a plate to share. Also bring along bulbs, cuttings, etc to swap and share.

All welcome. For details, phone Diane on 0408 279 364.

Kate said while the new centre has impressive contemporary facilities including a welcoming entrance foyer and separate large kinder and childcare rooms, it was important for the children to maintain their deep sense of belonging, safety, connection, and areas where they loved to play.

She said to help with the transition, they frequently walked with the children to the new centre, discussed the move and where everything would be, asked for children’s input and ensured artwork and familiar pieces of equipment were incorporated into the new spaces.

Then they said goodbye to the

Wangaratta AL–Anon Family Group meets on Tuesdays from 1.30pm to 3pm at the backstage meeting room at St Patrick‘s Hall in Ford Street.

If your life has been affected by someone else‘s drinking, this group may be for you. Contact David on 0403 552 950 or Bev on 0449 516 828, or phone 1300 252 666.

Wangaratta Table Tennis Social Group is held every Tuesday from 10am to 12 noon, at the Showgrounds table tennis pavilion. All ages and abilities are welcome, with bats and balls provided. Entry fee $2. For more information phone Maxine on 0403 209 857.

Wangaratta Orchid Club meets on the second Wednesday of each month from 6.30pm in St Patrick’s supper room, off Ford Street. Meetings include flower shows and talks, and everyone is welcome.

Wangaratta Men’s Shed provides an outlet for men who would like to get more involved in building friendships, supporting community

old centre by holding a dance party, making paper chains, drinking homemade cordial and sharing cake - celebrating, but also saying goodbye to their beloved home.

While the grown-ups wondered how the children would go in their new, much bigger space - if they might want to go home once the novelty wore off - they were delighted to see the kids embrace it.

Kate said they are fortunate to be in a beautiful place surrounded by familiar faces, and to be able to access their treasured natural spaces for the bush kinder and childcare programs, regularly visiting the school’s

projects, sharing knowledge, learning new skills and improving health. It provides a range of activities for both working and retired men, including woodwork and metal work along with other social activities.

All are welcome to drop in and look around, and speak with current members. The shed is open Monday, Wednesday and Friday between 9am and 3pm at the Livestock Complex in Shanley Street.

Parkinson’s Disease Support Group meets every Friday at the Wangaratta RSL for coffee at 10am, with those who are able meeting at the main entrance at 9.30am for a 30-minute walk prior to coffee.

Contact Dave James on 0409 011 953 or Ros Taylor on 0429 624 844.

Blokes Time Out conducts regular gatherings and activities on the

Farewell for Lyn and Graham Lewis

On Sunday, 31 August, the Cheshunt Hall and local community will be hosting a “Farewell from the Valley” afternoon tea for Lyn and Graham Lewis as they make a move to be closer to family. Feel free to drop in for a cuppa, bring a plate to share or just have a chat between 2pm and 4pm with all welcome, and more information is available by contacting Kayleen on 0417 522 059.

Idle Chatters Group monthly meeting

The Idle Chatters Group meets on the first Monday of every month at 10am at Ineeta’s Café in Moyhu. Meet and chat with others in the community over a coffee, with all welcome and more information available by contacting Max Baker on 5727 9376.

Moyhu Lions markets in spring

animals including their goats, guinea pigs and chooks.

“We feel deeply fortunate for the strength of the connection with the school, our families, and our location,” she said.

“While me miss our old yard a little, we continue to adapt the new one to suit us, and families have been magnificent in helping with working bees and being utterly adaptable as we waited to move.

“We love our new centre, we love our connection with school, and we love what is made possible now that we are here… it’s exciting to imagine and experience what is yet to come.”

third Saturday of the month. For details, visit gritandresilience@wangaratta.vic.gov.au

TOPS weight supporting group meets at The Centre each Monday from 5pm to 6pm. Encouragement and company to support locals in managing their weight. Phone 0458 374 261.

Wangaratta Symphony Orchestra meets each Tuesday from 7.30pm to 9.30pm at Wangaratta Baptist Church, 1 Sisely Avenue. Email wangsymphonyorchestra@ gmail.com or call Wendie 0408 495065.

Wangaratta Concert Band rehearses on Mondays from 6.45pm to 9pm at the Avian Park Raceway Band Room in Newman Street. New players welcome, contact Helen on 0401 021 448.

Wangaratta Sing Australia Group holds its weekly meetings each Wednesday from 7.30pm to 9pm at Purbrick Hall, next to Holy Trinity Cathedral.

All welcome. For details, call Cheryl Hoysted on 0419 005 062.

The Moyhu Lions country market is set to return on the morning of Saturday, 20 September. Expressions of interest are also being sought for the annual Garden Expo which will be held as part of the October market on Saturday, 18 October at the Lions Park in Moyhu. Vendors interested in booking a stall can contact Donna on 5729 7563, and community groups and organisations interested in having a display can call Nicole on 0458 512 903 or email moyhu.vic@lions. org.au.

Wangaratta Woodworkers Inc meet at the Wangaratta Showgrounds each Tuesday, Thursday and Saturday from 9am to 12 noon (closing earlier if no-one is present).

The rooms are open on the first and third Wednesday of each month from 5pm to 7pm, and Sundays from 10am to 1pm. All welcome. Contact Bevan on 0437 196 118.

Wangaratta Family History Society opens each Thursday from 10am to 3pm in the local history room at the Wangaratta Library.

Outside of these hours, assistance is available by appointment only by emailing wangfamhs@gmail.com or phoning 0474 443 626.

Wangaratta Old Time/New Vogue Dancing is held every Tuesday from 7pm to 10pm at the CWA Hall in Templeton Street.

Admission is $10, please bring a plate of supper to share. Entry also includes raffle ticket and lucky door prize.

Phone 0431 190 630 for more information.

MODERN FACILITY: As well as having a contemporary fit-out, the new centre in Whitfield is set among trees with easy access to outdoor spaces for bush kinder and childcare programs.
from Whitfield District Early Years.
PHOTO: Anita McPherson
PLAY SPACE: Edie Gorton with kinder teacher Sarah Monshing feel right at home in their new kinder space, adjacent to Whitfield and District Primary School.
PHOTO: Anita McPherson

READING ADVENTURE: Wangaratta Primary School students Charlie Jones, Eddie Bryant, Marlon Gillespie, Vincent Florance and Harry Cook were among those to dress as favourite book characters.

Book Week

Wangaratta Primary School

Students celebrated Book Week with the exciting theme “Book an Adventure.” The school was filled with colour as students and teachers dressed as their favourite book characters, showcasing creativity and a love of reading.

A lively parade saw families join in to cheer on the students, making it a highlight of the week.

ON THEIR WAY: Carra students (from front) Jaxon Saunders, with therapy dog Fenella O’Hehir, Cypress Morton, Hamish Brauman, Jacob Saunders and Riza and Lucille Milne, were looking forward to hitting the road.

Road trip

Carraragarmungee Primary School

Students climbed aboard the bus on their way to cooking class.

Teachers, kids and therapy dog Fenella were all excited that day, which can be seen when they paused for a photo.

Future Makers camp

Wangaratta High School

A group of 22 adventurous year nine students have begun the second Future Makers Camp of the year at 15 Mile Creek, embarking on a 12-day adventure. The 12-day camp, with a focus on personal skills and capabilities as well as connection to country and sustainability of the environment, will test students through a range of fun and challenging activities.

READY FOR ACTION: Wangaratta High School students participating in the camp enjoy a range of fun and challenging activities.

100 days of prep

Cathedral College

Wangaratta

Students enjoyed celebrating the milestone of the first 100 days of prep. They enjoyed dressing up, visiting their year 12 buddies and all the activities throughout the day.

1Ladybirds are wonderful critters that can help your garden, but what sort of animal are they? Are they a) birds, b) arachnids, or c) beetles? 3

SENIOR STUDENTS: CCW students including (from left) Theodore Brazel, Edwards Zach, Lenny Davies, Henry Cooke, Mac O’Keeffe, Monoco Hilton, Penelope Baker, Tori Theobald celebrated 100 days of prep.

characters

Appin Park Primary School

To help celebrate Book Week, students and staff came to school dressed as favourite individuals from books they have read or listened to.

Harry Potter was still a strong representative amongst the many students, along with fairies, Minecraft and Pokemon figures, sporting heroes and many other easily identifiable book characters.

The parent community were out in force, enjoying the parade, supporting all the students and undoubtedly getting their creative juices sparked, ready for the next dress up day.

Developing a love of reading is important, and allowing students to have the chance to be their favourite character for a short time, helps to bring books alive.

ALL DRESSED UP: Appin Park year one student William Triffitt and year five student Callum Bassett embraced this year’s book parade, dressing as characters Willie Wonka and Grug, respectively.

the

New World melodies from WSO’s very own

The Wangaratta Symphony Orchestra (WSO) is embracing music from the New World in its upcoming concert, ‘Images of the New World’, which will take place at the Wangaratta Performing Arts and Convention Centre (WPACC) on Sunday, 7 September.

While Dvorak’s 9th Symphony ‘From the New World’ will take focus throughout the program, the show also welcomes remarkable soloist performances from orchestra members Timothy Wong and Emma Lang.

Tim is a well-known musician in Wangaratta.

He has been here all his life, except for when he studied at Canberra School of Music, majoring in piano and performance. He has performed many times at the WPACC, including Steinway on Stage with Emma Lang.

While piano is Tim’s first instrument, he also plays clarinet in both the Wangaratta Symphony Orchestra and the Wangaratta Concert Band.

He is an original member of WSO, having attended its very first meeting in King George Gardens in January 2020.

Tim’s early music interest was fostered by both his uncle, who played piano, and by his father who played the organ.

He was about five years old when he started to learn the piano.

Tim is excited to be a soloist in this concert, where he will play Mozart’s Piano Concerto; the beautiful and well- known second movement, Andante, with the orchestra; and then Schubert’s Impromptus No. 3 on his own.

For Tim, being a musician is a noble calling, one that he thinks about a lot and that challenges him still.

“Put the effort in, especially in the early years,” said Tim to budding musicians.

“Be as creative as you can.”

Unlike Tim, Emma only recently became a Wangaratta resident after moving here in January 2022 as an audiologist to join a local audiology company.

While she had lived in Albury as a child, she had spent little time in Wangaratta before moving here, but was delighted to find many people she had met before in different music circles.

She was especially delighted to

IN THE SPOTLIGHT: TIMOTHY WONG WILL PERFORM A SOLO OF SHUBERT’S IMPROMPTUS NO.3 AT THE WANGARATTA SYMPHONY ORCHESTRA’S ‘IMAGES OF THE NEW WORLD’.

Timor-Leste friendship celebration dinner

Three Timor-Leste friendship groups in the Indi region will come together to celebrate 20 years of friendship with a dinner on Saturday, September 20 at the Uniting Church Hall in Rowan Street, Wangaratta. Including members and friends from Wangaratta, Ovens Valley, Indigo Shire and Mansfield, there will be live music with the Mystic Trio band, video links to Timor-Leste, a raffle and other entertainment. It will be held from 6pm to 9pm (BYO grazing platter and alcohol, with tea and coffee provided) and tickets are $25 per person, available from trybooking.com/ DEBZT.

Exhibition of artworks by Karen Brown

A new exhibition by resident artist Karen Brown called Beneath Your Feet is open at the Art Gallery on Ovens in the laneway off Murphy Street.

Karen is an Albury based artist who celebrates the uniqueness of eucalyptus foliage in detailed works created using coloured and graphite pencils and acrylic paint.

The exhibition will be open Thursday, Friday and Monday from 10am until 4pm and on Saturday and Sunday from 10am until 2pm and entry is free.

find that Wangaratta had a symphony orchestra, as it gave her an instant connection into the local community.

Emma leads the cello section and co-leads string sectionals when needed as part of her role with the symphony orchestra.

“It’s nice to assist the strings in gaining confidence playing as a section and using the extensive training I’ve had to help our orchestra flourish,” she said.

Music featured strongly in Emma’s childhood, as her mother taught flute at Murray Conservatorium in Albury.

At four years old, she began piano lessons, and at six, she began cello.

“I had excellent teachers at that

Shamrock Tenors coming to Wangaratta

Direct from Belfast and London’s West End, Ireland’s newest music sensation, Shamrock Tenors, will play at the Wangaratta Performing Arts and Convention Centre on Sunday, 31 August at 3pm.

Joined by a band of the country’s best multi-instrumentalists, the tenors will light up the stage with soaring five-part harmony bringing a fresh energy to your favourite tunes from the Emerald Isle and classics like Whiskey in the Jar, The Parting Glass, Wild Rover and Danny Boy.

Tickets are available now at wpacc. com.au.

time who helped me develop and appreciate music,” Emma said.

However, in high school and early university years, Emma felt pressured and lost the joy of playing.

She’s found a healthier balance in music not being her whole focus; it is a choice and a joy.

“Music allows me to connect with others and to express something of who I am and how I feel,” she said.

“Music builds community and gives joy to both players and those listening.

“It is an important part of mental health for many people.”

For those learning to play an instrument, Emma encourages them to understand that your

The Gruffalo’s Child live on stage next week

Presented by CDP Kids and Tall Stories and adapted from the award-winning picture book by Julia Donaldson and Axel Scheffler, The Gruffalo’s Child will be presented live on stage at the Wangaratta Performing Arts and Convention Centre on Monday, 1 September and Tuesday, 2 September.

If you loved The Gruffalo, don’t miss the sequel, which follows the Gruffalo’s Child on her adventurous mission into the deep, dark wood, in a magical musical adaptation of the much-loved picture book.

Bringing together physical theatre, music and puppetry to deliver songs, laughs and scary fun for children aged three and up, and their adults, tickets for The Gruffalo’s Child are available for the Monday show at 6pm at wpacc.com.au.

self-worth is not determined by how well you play.

“Be patient with yourself as you learn, and take encouragement with small progress,” she said.

Emma will play two solo cello pieces with the orchestra at the concert; Haydn Cello Concerto in C Major, and Dvorak’s Silent Woods.

She is looking forward to leading the cello section playing the Dvorak’s 9th Symphony in its entirety.

You can see these soloists perform with the WSO at the WPACC on Sunday, 7 September at 2.30pm with tckets are available from wpacc.com.au/Whats-On/ WSO-Images-of-the-New-World.

Old School Night Out at local halls

Enjoy an Old School Night Out at a local community hall, when the Rural City of Wangaratta presents a series of four events in regional locations.

This year’s tour will see much-loved local band Sweet Buzz travel across four townships, filling halls with songs, dancing and laughter, supported by the local hall committees.

This series is proudly funded by the Grit and Resilience Program, with events at the Myrrhee Hall on Friday, 5 September, Tarrawingee Hall on Friday, 10 October, Moyhu Soldiers Memorial Hall on Saturday, 25 October, and Everton Hall on Friday, 28 November, with more information at www. wangaratta.vic.gov.au/Community/GritResilience/Whats-On

ARIES (March 21 to April 19) This week could offer more opportunities for ambitious Lambs who are eager to get ahead. But don’t rush into making decisions until you’ve checked for possible hidden problems.

TAURUS (April 20 to May 20) Some light begins to shine on professional and/or personal situations that have long eluded an explanation. Best advice: Don’t rush things. All will be made clear in time.

GEMINI (May 21 to June 20) Although you might want to protest what seems to be an unfair situation, it’s best to keep your tongue and temper in check for now. The full story hasn’t come out yet.

CANCER (June 21 to July 22) Work prospects are back on track, but watch what you say. A thoughtless comment to the wrong person -- even if it’s said in jest -- could delay or even derail your progress.

LEO (July 23 to August 22) A colleague might goad you into saying or doing the wrong thing. It’s best to ignore the troublemaker, even if they rile up your royal self. Your supporters will stand with you.

VIRGO (August 23 to September 22) Careful not to let your on-the-job zealousness create resentment with co-workers who might feel like you shut them out. Prove them wrong by including them in your project.

LIBRA (September 23 to October 22) Although it’s not quite what you hoped for, use your good business sense to make the most of what you’re being offered at this time. Things will improve down the line.

SCORPIO (October 23 to November 21)

A more positive picture of what lies ahead is beginning to take shape. But there are still too many gaps that need to be filled in before you make definitive plans.

SAGITTARIUS (November 22 to December 21) Continue to keep a tight hold on the reins. This way, you don’t charge willy-nilly into a situation that might appear attractive on the surface but lack substance underneath.

CAPRICORN (December 22 to January 19) You still need to demand answers to your questions. Remember, your wise counseling earns you respect, but it’s your search for truth that gives you wisdom.

AQUARIUS (January 20 to February 18)

You’ll find people who are happy to help you deal with some difficult situations. And, of course, knowing you, you’ll be happy to return those favors anytime. ... Won’t you?

PISCES (February 19 to March 20) Give the special someone in your personal life a large, loving dollop of reassurance. This will go a long way in restoring the well-being of your ailing relationship.

LEADING LADY: Emma Lang will be performing two solo cello pieces in addition to leading the cello section as they perform Dvorak’s 9th Symphony.

37 Rowan Street, Wangaratta 3677

FLY fishing course, full day course covers the basics of fly fishing, including equipment, casting tuition, fly selection and streamcraft, to be held on Sunday, October 12, 10am4pm at the Log Cabin, 28 Chisholm Street, Wangaratta, cost $70 includes lunch. To book your place contact 0427 756 665.

DRY SPLIT

FIREWOOD, quality boxwood and gum, available now, $170 per metre, dry, split, ready to burn, fast delivery available. Call G & J Tree Services on 0474 107 631

MOBILITY walker, maroon red, good condition, free to good home, pick up only. Phone Margaret 5721 7607. FOR SALE $50 OR UNDER

CONCRETING , all types. Big or small jobs, concrete demolition and removal, Bobcat and Excavator work.20 years’ experience. For a free quote phone Trev Anderson on 0422 200 761.

DJ and CL Collison Concrete and Kurb, all concrete works, residential and commerical, free quotes. Call Dave 0457 155 564.

PAINTER, old school, for all your painting needs, commercial, industrial renovations. Phone Juliano 0412 597 482.

WHEELER Earthworks, available for all your earthworks needsyard clean ups, stump removals, driveways, material supply and spreading, rural work and more. Call Marcus on 0491 094 545.

North

Duties Include

• Supporting our technical print team in producing over 25 newspapers

Our Vision is to provide pathways for all to succeed based on their individual

and talents. Join our amazing team of educators and a professional environment that is passionate, collegial and focused on learning for all. We are currently seeking applicants for the following ongoing position:

Maintenance Officer

Applications close on Wednesday, September 3 at 12pm. For further details on how to apply please visit our website https://www.galen.vic.edu.au/employment/ Our school community promotes the safety, wellbeing, and inclusion of all children.

Galen Catholic College embraces diversity and social inclusion and encourage people from diverse backgrounds to apply.

ARE HIRING

JOIN OUR TEAM

Key Attributes Required:

• Bachelor Degree plus CA or CPA (or

• working towards)

• Experience with Xero, MYOB or

• similar accounting software

• Good time management skills

• Excellent communication skills

We have an opportunity for an Accountant with industry experience to join our team in assisting our senior staff with the management, compliance and accounting requirements of a range of clients. The position is a full time position, however part time will be considered for the right candidate.

• Microsoft Word & Excel

• Numeracy and literacy skills

• Competent typing skills

• Self-motivated

Applications close Friday 5th September

Forward applications to: Business Manager belmore@belmores.com.au 03 5744 1221

Silver Valley Caravan, 19.6 ft, 3-way fridge, microwave, full oven, gas and electric hot plate, washing machine, queen bed, tv, cd player, solar etc. $45,000.

sleeps 2,

shower toilet, aircon, solar, diesel

tv, radio, everything works, very good condition, $21,500. Phone Terry 0428 398 360.

JAYCO Westport 20ft 2000 model,
annex, combo
heater,

DEATH NOTICES

GRIFFITHS, Bernadette.

The President and members of the Wangaratta Senior Citizen’s Club were saddened by the passing of Bernadette. Deepest sympathy to family and friends.

DEATH NOTICES

ROWLANDS, Pauline.

The President, Vice President, Board and Members of the Wangaratta Bowls and Sports Club extend sincere sympathy to Pauline’s family on his passing. Sadly missed.

A celebration of life will be held at The Bowls Club Friday, October 31, 2025 at 2pm.

WATTS, Marjory Joyce. 13/6/1923 – 8/8/2025

Passed away peacefully in Gawler, SA, after 102 years of a wonderful life. Caring wife of Ron (dec). Loving mother of Lyall (dec). Will be greatly missed by daughter Sandra, son-in-law Bill Harbison, and grandchildren Nicholas and Stella. Forever in our thoughts.

The family and friends of the late Mrs Marjory Watts are respectfully advised that her memorial service will be held entirely in the Taylor & Forgie Cowan Street Chapel, 15 Cowan Street, Gawler on Friday, September 5, 2025 commencing at 12.30pm. Livestream is available, please refer to our website.

GRIFFITHS, Bernadette.

Requiem mass for the repose of the soul of Bernadette will be held on Friday, August 29, 2025 at Our Lady’s Catholic Church, Corner of Murdoch Road and White Street, Wangaratta, commencing at 11am. Burial will follow the service at the Wangaratta Lawn Cemetery.

Remember your loved one in a lasting way

The memory of a much loved family member or friend can live on through a donation to your local health service Northeast Health Wangaratta. This is a direct way of helping us to continually improve patient care and comfort, ensuring the availability of comprehensive health services in our local community.

Family and friends can make a donation in lieu of flowers in recognition of the medical care and attention provided.

The bereaved family will be notified of your memorial gift according to your wishes and you will receive a tax-deductible receipt for your donation.

To make a donation or to request information about memorial service donations or remembering Northeast Health Wangaratta in your will, please contact -

Community Engagement Team (03) 5722 5310 or PO Box 386, Wangaratta, Vic 3676.

EWAN LODGE
GABRIEL BANKS
MITCHELL O’SULLIVAN
ARCHIE SYMONS
PHOTOS: MELISSA BEATTIE
HARVEY JACKA MITCHELL MURPHY
MITCHELL O’SULLIVAN
RILEY WEBB
SETH ISMALE

ELIMINATION FINAL

Imperials 1.3 2.5 6.8 6.9 (45) Tigers 1.2 4.3 4.5 7.7 (49)

GOALS: IMPERIALS: M. Marek 2, H. Allen 1, B. McMonigle 1, R. Canning 1, C. Flynn 1. TIGERS: M. Benton 4, M. Correll 1, J. Wickham 1, E.

BEST: IMPERIALS: C. Flynn, S. Ismale, P. Stamp, M. O’Sullivan, A. Schultz, C. Young. TIGERS: X. Dodgshun, S. Morey, L. Alexander, M. Benton, E. Damon, H. Gibb.

H. Johnston 2, B. Brady 1.

C. Bowman 1, C. OBrien 1. MYRTLEFORD: S. Lupo 4, X. Millar 1, C. Schell 1, A. Knobel 1. BEST: COLLEGE: T. Hill, C. OBrien, C. Bowman, J. Borschmann, L. O’Brien, L. Pensak. MYRTLEFORD: S. Lupo, A. Knobel, L. Sanderson, N. Harris, N. Durling, J. Jennings.

LUCAS ALEXANDER JENSEN PERNA
OLLIE REYNOLDS
HENRY ACKERLY
JAX BORSCHMANN
EAMON MULLINS
LEO FRASER
ALASDAIR BRETT
CHARLIE O’BRIEN
HARRY WEST
CHARLIE FLYNN
WILLIAM PICKETT
BRADY O’KEEFE

WANGARATTA Chronicle photographer Melissa Beattie went to Ovens and King finals on Saturday to capture some action from the senior football and A Grade netball. Photographs can be purchased at the Chronicle.

MOLLIE SHANLEY AND HANNAH WITTS
CASIE PETERS
AARON LAW
ADEN GRAHAM
KELLY JACKSON
BRAYDON KEARNS
JAMES FOX AND JARED LEA
TYLER DUNN
PAIGE WARNER
ELLA JONES
MOLLIE SHANLEY

SPORT

O&M sponsorship, naming rights extended by decade

The SS&A Club will continue as the Ovens and Murray Football Netball League’s major sponsor and official naming rights partners through to 2036.

The league announced the 10-year sponsorship and rights extension via their Facebook page on Tuesday, 26 August, and confirmed the inextricable link between the league and the club would continue.

OMFNL chairman David Sinclair said the deal would take the relationship between the Ovens and Murray and SS&A Club to a whopping 33 seasons.

“Today is an historic day for the Ovens and Murray Football and Netball League,” he said.

“The SS&A Club have partnered the OMFNL as a major sponsor and naming rights partner since 2003, and it has become one of the most enduring community sports partnerships in regional Australia.

“The major partnership will extend the SS&A Club’s association with the league to a staggering 33 seasons, making it a near-unprecedented commitment to local sport across the country.

“Both parties look forward to working together into the next decade to continue the growth and development of the league and community football and netball across the Ovens and Murray region.

“Our thanks go to SS&A [Club] chairman Eddie Dunlop and his board, together with CEO Gerard Darmody and his team, for their unwavering support of our product and brand.

“The O&M is what it is today largely due to the support and commitment of the SS&A Club, and we look forward to working with them over the years to come.”

Ineligible players spark drama in AWFA

The finals series may only be a week old, but there’s already been some chaos in the Albury Wodonga Football Association postseason.

Cobram Roar have been disqualified from the division one and two men’s finals series following a review of player eligibility, AWFA confirmed in a press release issued on Tuesday, 26 August.

The release cites two breaches of minimum match requirements for finals as outlined in their rules and regulation for the 2025 season.

Rule 4.5.1 states a player must have played a total of five games in Division 1 Men during the regular season to be eligible for Division 1 Men’s Cup games.

Rule 4.12.2 states a player must have played a total of five game in Over 35 Men during the regular season to be eligible for Over 35 Men’s Cup games.

“As a result, Cobram Roar have been disqualified from the Division 1 Men’s and Division 2 Men’s Finals series,” the release reads.

“The match results have been

overturned, and Albury United have been awarded the win in both divisions and will progress to the next stage of the competition.

“The AWFA acknowledges and commends Cobram Roar for the professional and respectful manner in which they have responded to this matter.

“Their cooperation throughout this difficult process demonstrated integrity and a commitment to the values of our football community.

“The AWFA remain committed to upholding the integrity of its com-

petitions and ensuring fair play across all divisions.”

In a statement released on their Facebook page, Cobram Roar denies any intentional or wilful breach of rules, putting the infringement down to “a misinterpretation of a critical rule”.

Wangaratta City will now face Albury United in the division two men’s semi-final on Saturday, 30 August at Savoy Park at 4pm.

The AWFA finals series continue this weekend across Saturday and Sunday.

Dunlop said it was a natural extension of a symbiotic relationship.

“We see it as a partnership for 23 years that has been very successful,” he said.

“We get as much out of the Ovens and Murray as the Ovens and Murray gets out of us.

“We’re a community club, and we’re supporting a community league, one of the biggest leagues, if not the best, in regional Australia.”

Darmody

“It just reinforces the strength of that relationship, and hopefully we can take it to a new level.

“It’s about supporting communities, not only in Albury Wodonga but throughout the whole league, from Yarrawonga, Corowa, Myrtleford, and throughout the whole region.

“It’s our commitment to regional sport and the very important role it plays not only for the clubs but the communities that support those clubs.

“We hope to continue and grow, and let the league prosper, providing some insurance and assurity about sponsorship going forward.”

The SS&A Ovens and Murray Football Netball League finals series commence this weekend.

Senior Devils knocked out of finals, reserve men still fighting

It’s the end of the line for Wangaratta City FC’s senior men and women.

Both of the club’s top teams were handed losses at the hands of Albury Hotspurs in Sunday’s AWFA quarter finals.

The division one men fought hard against the second-placed ‘Spurs, but came up short 0-2.

After holding Hotspurs to a 1-1 draw last weekend, the Devils went into the encounter with confidence, looking to stifle chances on goal.

The strategy worked for a time, but Hotspurs snuck a goal through in the 32nd minute.

Time wore on but the Devils weren’t able to find an equaliser, electing to throw all their men for-

ward late in a desperate play.

While the strategy was sound, Hotspurs were able to counterattack and slot a goal in the 90th.

Despite their season being over, coach Vitaly Leschen was positive about how his side had improved over the journey.

“Obviously Hotspurs are a very good team – we finished seventh and second for a reason,” he said.

“We had a game plan to pretty much do what we did last week, which is just to restrict the scoring.

“Realistically, it was 1-0 before we threw everyone forward in the

90th minute, they just got us on a counter, we gave away a penalty and it was 2-0.

“While disappointing, I think we well and truly took it to them – on another day, we had a couple of chances that could’ve gone in the net, and if they’d gone in I think we would’ve had the chance to progress.

“But that’s football, and that’s alright, and I think the way we went out was important for our season.

“In the second half [of the season] I think we’d played 10 games, won five, drew two and lost three –if you compare that to our first half, those numbers are probably completely reversed.

“It showed the progress we were looking for as a team and as a club.”

The Lady Devils similarly crashed out of finals, defeated by the ‘Spurs 3-0.

Wangaratta’s reserve men kept their season alive with a stunning 2-1 win against Wodonga Diamonds.

They’ll take on Albury United on Saturday at Savoy Park.

“The ressies have been good all year, there’s plenty of talent which will come into the seniors next year in that squad,” Leschen said.

“It’s more than deserved for the ressies, it’ll be a tough game at Myrtleford on the weekend but it’s a winnable game.”

In other grades, the under 12 boys Black side progressed to the semis with a 1-0 win, while the under 16 boys (2-1) also advanced.

CROSS: KAITLYN BROADY PASSES THE BALL DURING THE
MY BALL: RAUL PAHINA MAINTAINS POSSESSION IN THE SENIOR MEN’S LOSS.

Magpies finish on a high but miss finals narrowly MATCH REVIEWS

Wangaratta Magpies dominated their Albury opponents on Saturday, winning comfortably in all grades including 58-20 drubbing at the top level.

The win puts the side agonisingly closer to the top five, but ultimately the Magpies fell just two points behind Lavington, finishing in sixth position with the home and away season at an end.

The netball wins were a major contributor to the club taking out the Cleaver Bunton Shield for winning the Ovens and Murray Club Championship.

Coach Shea Cunningham said it was a fitting finale for her side.

“The team’s performance was a testament to their growth and resilience,” Cunningham said.

“Milly O’Kane was outstanding, consistently intercepting and driving the ball down the court thanks to excellent setups from her teammates.

“Olivia Holmes had a standout game in Centre, using her longer leads to open up attacking space, her development in the midcourt this season has been exciting to watch.”

Amanda Umanski had another eye-catching performance finishing with 28 goals, well supported by Claire Wilson with 21 and Georgia Clarke 10 goals.

“Amanda continues to improve,” Cunningham said.

“Her growth over the past two seasons has been massive.

“Previously known for her ability to post up and use the back space of the circle, she’s now added new dimensions to her game.

“Her fitness and strength have

Finals claim first victims

■ From back page

become key assets, and we’ve worked hard to leverage those to great effect.”

The coach was full of praise for her entire squad.

“Our defensive pressure and setups were solid all day, and the team showed great trust in each other, playing fast when needed and smart when the game called for it.

“The growth of this group across the year has laid a strong foundation for next season, and I’m incredibly proud of them.”

And while the A grade side has finished competition, the players will be still on court at training supporting the club’s other teams that

have qualified for finals including B grade (finished top of the ladder), C grade (second), and 17 and under (fourth).

Wangaratta Rovers are in a similar position with their A grade side out of contention for playoffs but still represented in C grade (third) and 17 and under (second) grades.

The Hawks were again competitive for most of the match against Wodonga before the margin blowing out slightly in the final term to 71-51 win for the Bulldogs.

The Rovers had been within nine goals for most of the match Kyia Wohlers, Briony Simpson, and Bec

Kreltszheim leading the way with Gracie Reid (32) and Sophie Pasquali (12) making the most of their chances.

Coach Gracie Reid described the encounter as an entertaining game which felt much tighter than the final score suggests.

“We felt right in it up until the last quarter, but credit to the Bulldogs shooters, they were clinical and didn’t miss when it counted,” she said.

“That accuracy really pushed the score out late.

“I thought our group showed great intensity and fight throughout, and while the result didn’t go

our way, there’s still plenty to be proud of.”

She said Kyia stepped up and fulfilled the potential she had shown during the year.

“She played both WA and Centre, using her speed to great effect across the midcourt,” Reid said.

“Her ability to find space and deliver clean, confident feeds into the goalers was a real highlight - she brought great energy and composure, and her decision-making under pressure was impressive, a really strong performance from her.

“Briony Simpson (WD) had a solid game, doing a lot of the hard work that doesn’t always show up on the stats sheet and Bec finished the season exactly how she played it, with consistency, composure, and a real team-first mindset.

“She’s been, stepping up each week and setting the standard both on and off the court.

“Her leadership and calm presence have been invaluable.

“As for the team overall, it’s been a season of growth.

“We’ve had our challenges, but the group has shown resilience, development, and a genuine commitment to each other.

“The foundations are there, and we’ve seen glimpses of what we’re capable of.

“There’s plenty to be proud of and even more to look forward to.”

ELIMINATION FINALS

Saturday, 30 August: Bunton Park C grade, 11.30am: Magpies v Rovers 17 & under, 10am: Rovers v Myrtleford

Sunday, 31 August: Martin Park 17 & under, 10am: Magpies v Lavington

The pressure was palpable, with turnover and frenetic passing across the court.

Bonnie Doon was able to settle and make the most of their chances, but coach Michelle Tanner said there was definite room for improvement.

“I think we got plenty of turnovers from all players on court, but I was probably a bit disappointed in our conversion of those turnovers,” she said.

“The most positive part of the game was our third quarter when we scored 10 goals to their two which is what we are truly capable of when we get on a roll.”

The two B grade elimination finals were absolute thrillers, with both Whorouly and Tarrawingee advancing by the skin of their teeth.

The Lions managed a 34-32 win over Bright, while Tarrawingee held off Goorambat 39-38.

Whorouly and Benalla will face off this Sunday after winning their B reserve elimination finals, while Moyhu and Bright advanced in the 17 and under division, and Bright and Greta progressed in the 15 and under age group.

TO: Melissa Beattie
PRESSURE SHOOTING: Kylie Relf puts up the shot. PHOTO: Nathan de Vries
BREAK THROUGH: Bonnie Doon’s
Anneliese Byrnes sends the Bombers forward. PHOTO: Nathan de Vries
SURE SHOT: Kaylee Allan shot 45 goals from 51 attempts in Tarrawingee’s convincing elimination final win.
PHOTO: Melissa Beattie

Finals claim first victims

Bulldogs, Bombers advance to netball semi-finals; Bright and Bats eliminated

And then there were four.

The 2025 Ovens and King finals series is in full swing, and there were some stunning results in the A grade netball competition.

Saturday’s top flight clash between Tarrawingee and Bright saw two of the best in the league face off, but the Bulldogs proved too strong 48-27.

The Bulldogs hit the front early and stayed there, thanks to ironclad defensive play, particularly in the second term.

With a slim three-goal lead at

quarter time, Tarrawingee only conceded a single goal through the second term while their own shooters converted on their chances, leading by 13 at the half. While they fought valiantly for the full match, the deficit was too much for Bright to overcome.

Tarrawingee coach Tig White said her side adapted well to the

high-stakes conditions of finals.

“We came into the match knowing it was going to be tough game, and both teams came out firing,” she said.

“The first quarter moved so fast and both teams created so many turnovers, but also didn’t give each other the opportunity to score.

“As we moved into the second quarter, we seemed to find our feet a bit and were able to develop a small lead which we then built on throughout the rest of the game.

“The court was hot and our mid

courters worked so hard for every ball and caused many turnovers with lots of pressure, while Mollie Shanley down in GK was able to read the play beautifully and intercept any lose ball that came into her area.

“The end score didn’t indicate the intensity of the game –Bright’s shooting accuracy was high as always, and their defensive end put a lot of pressure on us down the whole court, so to come away with the win was fantastic for us.”

The Bulldogs will face reigning premiers Bonnie Doon in the semifinals, who were able to secure an eight-goal win over Goorambat on Sunday.

Despite being most recent premiers, the Bombers were made to work by the Bats, with Bonnie Doon eventually running out winners 49-41.

There was barely a goal in it early, as the two high-quality squads traded goals through the first term.

■ Continued page 15

Turn static files into dynamic content formats.

Create a flipbook
Issuu converts static files into: digital portfolios, online yearbooks, online catalogs, digital photo albums and more. Sign up and create your flipbook.
WangarattaChronicleWednesdayAugust272025 by Provincial Press Group - Issuu