Positively Osceola News Today, Osceola County's Leading and Trusted Source For Local News

Page 1

Mutt's on 13th in St. Cloud: Osceola's Best Burger Award Winner, Celebrating 13 Years of Excellence

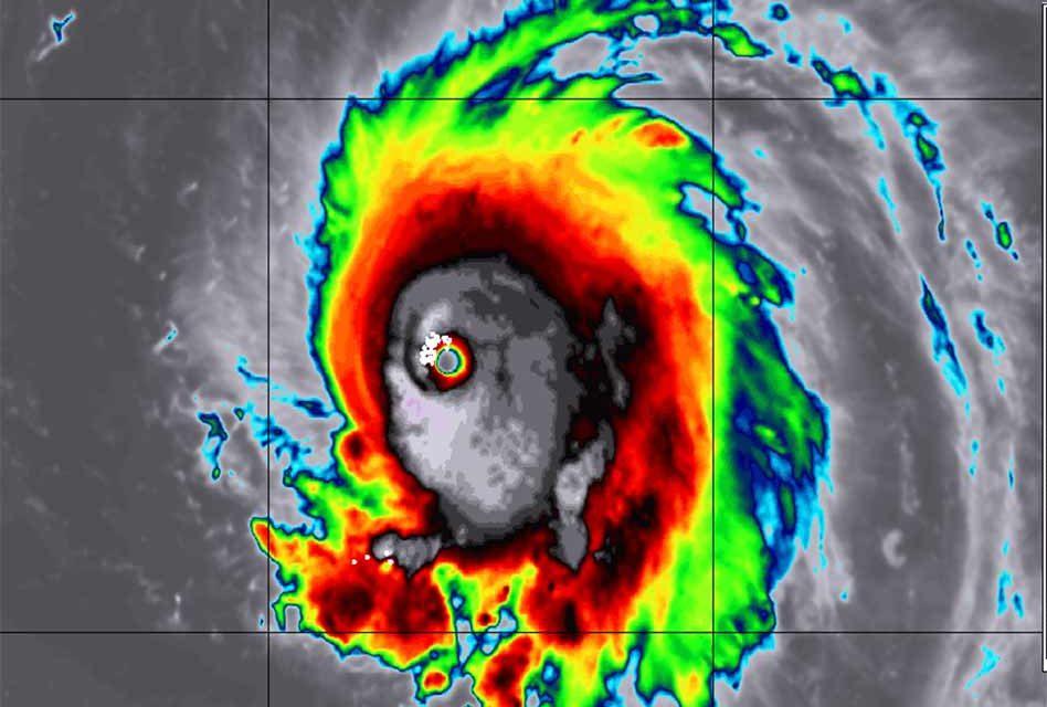
Hurricane Lee Gains Strength, Now a Category 5 Monster, First Cat 5 Since Hurricane Ian in 2022

Boots, Bulls, and Barrels to hit the Silver Spurs Arena Dirt in Kissimmee October 7

Fandom Kissimmee 2023: Where Fantasy, Sci-fi Passion, and Pop Culture Converge

Pinktoberfest 2023: A Day of Unity, Hope, Faith, and Love in St. Cloud

For more Positively Osceola, visit our Social Media & Website! PositivelyOsceola.com

FRIDAY, SEPTEMBER 8, 2023

LIVE at Harmony High School, first year Head Coach, Nick Lippert, looks to lead the Longhorns to victory in their home season opener

Introducing the soul of Friday Nights at Harmony, the 2023 Harmony High School Marching Band

Central Avenue Elementary School was the recipient of a huge school supply donation made by the Central Florida Indian Community

Media
Website! PositivelyOsceola.com
Media
Website! PositivelyOsceola.com
For more Positively Osceola, visit our Social
&
For more Positively Osceola, visit our Social
&
IN & AROUND OSCEOLA

IN & AROUND OSCEOLA

LIVE at the Downtown Kissimmee Councils Downtown Upate as Rick Lewellyan with Downtown Gather & Grow speaks

LIVE with Jurassic Jungle at the Kissimmee Civic Center

LIVE at the Downtown Kissimmee Councils Downtown Update as Deputy Chief Manager, Desiree Matthews, updates the community

LIVE at Bella Roma Pizzeria, voted Osceola’s Best Pizza

LIVE with Jude Smith of City of Life Church, whose wish was granted by the Nikolas Ritschel Foundation

For more Positively Osceola, visit our Social Media & Website! PositivelyOsceola.com

ON DEMAND LIVESTREAMS

LIVE with Charlie Draper of Draper Law Office

August 16th, 2023

LIVE with District 46 State Representative Kristen Arrington

July 26th, 2023

LIVE with Michelle Incandela of Draper Law Office

July 19th, 2023

LIVE with new Osceola School District Superintendent, Dr. Mark Shanoff

June 26th, 2023

LIVE with Michelle Incandela of Draper Law Office

June 21st, 2023

more Positively Osceola, visit our Social Media & Website! PositivelyOsceola.com
For

VIDEOS ON DEMAND

The Mayor’s Minute with St. Cloud Mayor Nathan Blackwell

The Mayor’s Minute with Nathan Blackwell, Mayor of the City of St. Cloud, Florida. Community teenagers are encouraged to serve on the Teen Recreation Advisory Committee. Toddler Open Gym resumes on Mondays and Wednesdays beginning Sept. 11th. Operation Nerf Battle at the St. Cloud Civic Center Sept. 16th

Positively Osceola, Making a Positive Difference in and Around Osceola County!

Stay informed and inspired with Positively Osceola, your 24/7 go-to news in and around Osceola County! Positively Osceola shares the latest updates on local events, community achievements, and inspiring stories. From heartwarming features to breaking news, PO has you covered. Experience the power of positivity with Positively Osceola!

Kissimmee Utility Authority Hurricane Handbook

With the 2023 Atlantic Hurricane Season here, Kissimmee Utility Authority has released its 2023 Osceola Hurricane Handbook, a free, bilingual, comprehensive preparedness guide offered annually to Osceola County residents.

Talent Tuesday at Orlando Health St. Cloud Hospital

Every Tuesday is Talent Tuesday at Orlando Health St. Cloud Hospital from 1-3pm.

SeaWorld Orlando’s Summer Spectacular Concert Series

Check out the lineup for SeaWorld Orlando’s Summer Spectacular Concert Series every Saturday and Sunday night from July 8th to August 6th.

For more Positively Osceola, visit our Social Media & Website! PositivelyOsceola.com

Fandom Kissimmee 2023: Where Fantasy, Sci-fi Passion, and Pop Culture Converge

Fandom Kissimmee, an exhilarating fantasy, sci-fi and comic book convention extravaganza will captivate the hearts of enthusiasts from all corners of the pop culture universe on Saturday, September 16 from 12pm –5pm.

The much-anticipated 2023 Fandom Kissimmee event is just around the corner, promising a spellbinding fusion of all things geek, from comics and movies to gaming and more. This year’s gathering will once again seamlessly meld an array of pop culture elements, creating an immersive experience that caters to a diverse range of interests. Whether you’re a die-hard comic book aficionado, a gaming virtuoso, a movie buff, or an avid follower of fantasy and sci-fi literature, there’s something for everyone at this year’s event.

READ MORE, CLICK HERE: https://bit.ly/3QKyS9q

Osceola County Weather: Heat and Humidity Stick Around with Showers and Storms in the Afternoon

HappySaturdayOsceola! We’re looking at a high chance for showers and thunderstorms, especially after 2pm with today’s high near 90.BHeat index values as high as 105. LightBeast northeast wind becoming east 5 to 10Bmph in the morning. Chance of precipitationBis 80% for the day. Bring an umbrella toBtonight’s high school football games in caseBa few showers stick around!Tonight:

Showers and thunderstorms before 11pm, then a slight chance of showers between 11pm and 2am. Low around 74. Northeast wind around 5 mph. Chance of precipitation is 80%. New precipitation amounts between a tenth and quarter of an inch, except higher amounts possible in thunderstorms.

READ MORE, CLICK HERE: https://bit.ly/3R9q4Kt

For more Positively Osceola, visit our Social Media & Website! PositivelyOsceola.com

NEWS

Osceola’s Best Wings: Canoe Creek Sports Tavern Reigns Supreme, Presented

by Positively Osceola

In a celebration of culinary excellence and community spirit, Canoe Creek Sports Tavern in St. Cloud received the prestigious “Osceola’s Best Wings Award” on Thursday, presented to owner Stephanie Chmielewski by Positively Osceola. The highly coveted recognition is a testament to Canoe Creek Sports Tavern’s commitment to delivering not only positively delicious food, but also fostering a welcoming environment for locals and visitors alike. The award underscores Canoe Creek Sports Tavern’s dedication to exceptional customer experiences.

“We are very family-oriented as a restaurant, and we bring that focus to our staff. Our staff are not just our employees, they’re not just the people that work here, they’re our friends. They’re the people that if I’m having a hard day I reach out to. If they’re having a hard day, they reach out to me. We bicker like family, we get along like family, and we love each other like family, and we bring that to our guests. We even attend some of our guests’ sports games. It’s like a big family when you walk in here,” owner Stephanie Chmielewski shared during the Osceola’s Best Wings presentation.

For more Positively Osceola, visit our Social Media & Website! PositivelyOsceola.com

NEWS
READ MORE, CLICK HERE: https://bit.ly/3qUGZFQ

KUA Seeks Student Art Entries for 2024 Energy Conservation Calendar

Kissimmee Utility Authority invites Osceola County students to showcase their artistic expression to promote energy conversation in the utility’s 30th Annual Calendar Art Contest.

The annual contest is open to Osceola County students enrolled in kindergarten through fifth grade, including public, charter, private, and homeschooled students.

In their entry, students are asked to use crayons, markers, or paints to depict an energy conservation message. A panel of local judges will select the 12 best entries to be used for each calendar month, which will be featured in the utility’s 2024 calendar.

READ MORE, CLICK HERE: https://bit.ly/3QQOaJO

47-year-old man fatally struck in shoulder of Florida’s Turnpike near Kissimmee Park Road after getting out of his pickup truck

A 47-year-old man from Wisconsin was fatally struck by a pickup truck driven by a St. Cloud man early Thursday morning after he got out of his pickup truck along Florida’s Turnpike in Osceola County, Florida Highway Patrol reported.

The crash took place around 1:50 a.m. in the southbound lanes of the Turnpike ahead of Kissimmee Park Road.

READ MORE, CLICK HERE: https://bit.ly/3P2cKEO

For more Positively Osceola, visit our Social Media & Website! PositivelyOsceola.com

NEWS

Got hoop skills? Osceola Magic to Hold Open Tryouts on September 2nd and 9th!

The Osceola Magic, NBA G League affiliate of the Orlando Magic and newly based in Kissimmee, are holding open tryout dates for the 2023-24 season on Saturday Sept. 2 and Saturday Sept. 9 from 9:00 a.m. – 1:00 p.m. at the AdventHealth Fieldhouse, located at 210 Cypress Gardens Blvd in Winter Haven. If you think you have the skills to play with the “big boys”here’s your chance. Open tryouts will provide local athletes the chance to showcase their skills in front of Osceola Magic coaches and staff.

READ MORE, CLICK HERE: https://bit.ly/3YlCEYy

more Positively Osceola, visit our Social Media & Website! PositivelyOsceola.com NEWS
For

Osceola Air: The Importance of Preventative Maintenance for Home Air Conditioners in Florida

Stay Cool and Comfy with Osceola Air’s Expert Tips

As the scorching sun continues to beat down Osceola County and the entire Sunshine State, a reliable air conditioner is not just a luxury but a necessity for comfort and good health. With temperatures soaring and humidity levels skyrocketing, homeowners in Florida heavily rely on their air conditioning systems to provide respite from the sweltering heat. However, the harsh climate and demanding workload can take a toll on these cooling units, making regular preventative maintenance crucial for their longevity and optimal performance.

READ MORE, CLICK HERE: https://bit.ly/3Oasgyd

For more Positively Osceola, visit our Social Media & Website! PositivelyOsceola.com NEWS

Driving Dreams: Osceola Council On Aging’s 4th Annual Car Raffle Fundraiser

The Osceola Council On Aging has revved up its highly anticipated 4th Annual Car Raffle Fundraiser, an exciting event that promises to make dreams come true for both the lucky winner and the local senior community.

The 4th Annual Car Raffle Fundraiser is a testament to the OCOA’s commitment to making a lasting difference in the lives of seniors, and brings together the community, local businesses, and philanthropic individuals in a spirit of generosity and camaraderie. This year’s lucky ticket will be drawn 30 minutes prior to 12:00 p.m. on Friday, December 29, 2023.

READ MORE, CLICK HERE: https://bit.ly/3rWR6tE

For more Positively Osceola, visit our Social Media & Website! PositivelyOsceola.com NEWS

Weather-or-Not: SeaWorld Launches New Complimentary Return Policy for WeatherDisrupted Park Visits

If your next visit to SeaWorld Orlando is affected by rain, intense heat, or other weather-related occurrences, you will now have the opportunity to come back within a year without any additional cost.

SeaWorld’s new Weather-or-Not Assurance program can give you an opportunity to receive a complimentary return visit!

For instance:

• If inclement weather leads to an early park closure or significantly affects operating hours.

READ MORE, CLICK HERE: https://bit.ly/3KSOQu2

For
Positively Osceola,
our Social Media & Website! PositivelyOsceola.com NEWS
more
visit

Orlando Health Dr. P. Phillips Hospital has achieved national recognition with the American Heart Association Get With The Guidelines – Stroke Gold Plus quality achievement award. The award recognizes the hospital’s dedication to ensuring stroke patients receive the most appropriate treatment according to nationally recognized, research-based guidelines.

“This award reaffirms our commitment to improving stroke care,” said Amit Bansal, MD, chief quality officer, Orlando Health Dr. P. Phillips Hospital. “We are proud of our dedicated team, who continue to make significant strides in early stroke detection and treatment, which is key to improving a patient’s health and recovery.”

Get With The Guidelines – Stroke, is an in-hospital program for improving stroke care by promoting consistent adherence to these guidelines, which can minimize the longterm effects of a stroke and prevent death.

READ MORE, CLICK HERE: https://bit.ly/3pYJcj6

For more Positively Osceola, visit our Social Media & Website! PositivelyOsceola.com

NEWS
Orlando Health Dr. P. Phillips Hospital recognized by American Heart Association for stroke care

Leaves and Luggage: A Peek into the Upward Trend in Fall Travel Searches

According to the Fall Travel Forecast released by Expedia, Hotels.com and Vrbo, the surge in travel demand seen over the summer is projected to continue into the cooler months, with the travel brands showing year-over-year search increases for fall getaways.

According to Expedia, flight searches for fall are up 15%, and hotel searches increased 20% compared to fall 2022.1

As temperatures drop, so do prices, providing plenty of opportunities for budget-savvy travelers to score a getaway for less.

more Positively Osceola, visit our Social Media & Website! PositivelyOsceola.com NEWS
For
MORE,
READ
CLICK HERE: https://bit.ly/45msmtN

St. Cloud Main Street’s Annual Awards Dinner Honors Partners, Volunteers, and Businesses

On Monday, St. Cloud Main Street hosted their Annual Awards Dinner that commemorates the organization’s achievements over the past year and gives the organization an opportunity to recognize individuals and businesses that have helped the community and the Main Street program. This year Main Street recognized seven different award winners along with this year’s sponsors.

OUC was recognized as Partner of the Year for their continued support of St. Cloud Main Street and donation of $10,000.

Toho Water Authority was recognized as Supporter of the Year for sponsoring “Taste of Main Street,” a new Main Street event that took place in the St. Cloud Marina Building.

READ MORE, CLICK HERE: https://bit.ly/47LiUSc

For more Positively Osceola, visit our Social Media & Website! PositivelyOsceola.com NEWS

Osceola County Breaks Ground on Fire Station 85 on Cypress Parkway

Osceola County held a groundbreaking event on Monday for Fire Station 85, strategically located along Cypress Parkway. This pivotal addition not only signifies a step forward in enhancing public safety in the area, but also elevates the total count of stations within the County to 16. Station 85 station is poised to play a crucial role in enhancing emergency response capabilities and providing timely assistance to the community.

The new station is important because it relocates existing Osceola County units from a station within Polk County to a more efficient location in Osceola County, allowing the department to better serve residents.

READ MORE, CLICK HERE: https://bit.ly/44bBXCv

For more Positively Osceola, visit our Social Media & Website! PositivelyOsceola.com NEWS

Osceola Prosper Initiative Continues to Advance Opportunities for Osceola County Graduates

Osceola County’s groundbreaking initiative, Osceola Prosper, continues to redefine the educational landscape in Osceola County. The program, which went into to effect last year for 2021 Osceola County graduates, has already begun to revolutionize the way students approach post-secondary education in Osceola County with 2500 students participating in the first year, 133 students obtaining associate degrees, and 108 students acquiring certifications. That means about 10% of “Osceola Prosper students” have already received some type of credential.

In December of 2022, Osceola County officials announced plans to expand the Osceola Prosper program for another year, offering the funding to 2022 Osceola County graduates.

For more Positively Osceola, visit our Social Media & Website! PositivelyOsceola.com NEWS
MORE, CLICK HERE:
READ
https://bit.ly/45v7II8

Making Business Better, Together

E F E
C E OBRS.NET
OSCEOLA BUSINESS R
R R A L S E R V I

HEALTH

Orlando Health: Cottage Cheese: The Protein

Powerhouse That’s a Dreamy, Creamy TikTok Hit

More than 550 million views on TikTok can’t be wrong: Cottage cheese is hot. Blended into ice cream or bread dough or straight off the spoon, it’s fun to watch Gen Z discover the creamy goodness your grandmother loved.

But cottage cheese goes back further than that — curdled-milk cheese is mentioned in Homer’s Odyssey, and there’s evidence of its existence in the Middle East as early as 5,000 B.C. So why the hullabaloo now?

Some put it down to Americans’ insatiable taste for soft and creamy comfort foods. But cottage cheese has survived the eons for a good reason: It’s packed with protein. One cup can contain as much as 25 grams, the equivalent of a double cheeseburger. But as with that burger, there can be other things to be aware of, like the amount of salt and added sugar.

READ MORE, CLICK HERE: https://bit.ly/3DuzMiv

Positively Osceola, visit our Social Media & Website! PositivelyOsceola.com
For more

INJURY LAW

Draper Law: Which vehicles are more likely to be involved in serious or fatal accidents?

Sadly, serious and fatal accidents take place on a daily basis in Central Florida. These crashes can happen in a number of ways and can be caused by not following traffic laws, inexperience, intoxication, distracted driving, fatigue, and medical issues.

Statistics show that fatal car accidents can often occur based on the type of vehicle. You may think that sports cars are most likely to be in crashes due to their speed and performance. However, according to the NHTSA, it’s the everyday cars, trucks, and SUVs on the roadways that are involved more frequently in serious or even deadly accidents, with sedans and pickup trucks accounting for more than three-quarters of fatal accidents. If you drive out on the roadways, here’s what you need to know about which vehicles have been involved in many of the crashes.

For more Positively Osceola, visit our Social Media & Website! PositivelyOsceola.com
READ MORE, CLICK HERE: https://bit.ly/3ptK6Uz

Steering St. Cloud: Weigh in on the Future of Transportation with St. Cloud’s Public Input Online Survey

The City’s of St. Cloud’s Transportation Planning department is seeking additional public input on transportation needs in and around the city, as they work to update its Transportation & Mobility Master Plan.

Earlier this year, the City held public meetings to solicit input on transportation needs, and are now asking the public for additional feedback through an online Virtual Meeting Room. The master planning process includes data collection, inventory of unfunded projects, and evaluation of potential projects, as well as considering areas in the Osceola County/St. Cloud Joint Planning Area (JPA).

To learn more about the project and complete a survey about transportation needs, visit the Virtual Meeting Room, where you can view a slide show, watch a video, and complete the survey.

READ MORE, CLICK HERE: https://bit.ly/3P5abmD

For more Positively Osceola, visit our Social Media & Website! PositivelyOsceola.com
NEWS

Beware of online scams when searching for home weatherization assistance programs

The Osceola Council on Aging is warning the community to beware of fraudulent websites while searching for home weatherization programs. These websites ask people to fill out online forms, which are then used to steal the applicant’s personal information. Unfortunately, when a victim of this malicious fraud attempts to contact the company, they receive no response or support.

READ MORE, CLICK HERE: https://bit.ly/44DSoZo

For more Positively Osceola, visit our Social Media & Website! PositivelyOsceola.com NEWS

HEALTH

Salvador N. Lanza, MD Cardiologist Orlando Health Heart and Vascular Institute

When a prominent young athlete suffers a cardiac arrest, it creates shockwaves in the world of sports and beyond. How does this happen to someone in peak physical condition? And what does that mean for the rest of us?

In the most recent incident, Bronny James – son of NBA superstar LeBron James – had a cardiac arrest during a team practice at the University of Southern California. The 18-year-old James survived, in part, because of quick action by team staffers. Among the general population, the survival rate from sudden cardiac arrest is less than 12 percent, largely because bystanders don’t take appropriate action.

These high-profile events – as was the case earlier this year when NFL player Damar Hamlin suffered a cardiac arrest during a game – draw attention to potential heart problems faced by young athletes.

Although these are rare occurrences, sudden cardiac arrest is still the No. 1 cause of death among this group. Sports programs are getting better at detecting potential problems before they arise.

We still don’t know exactly what caused James’ heart issue. But we can look at some of the potential causes.

CARDIAC ARREST IN YOUNG ATHLETES

When cardiac arrest in occurs in people under the age of 35, it’s usually not caused by the same factors (artery blockage, for example) responsible for cardiac arrest in older adults. Instead, it tends to be a condition the athlete was born with or something that was acquired.

READ MORE, CLICK HERE: https://bit.ly/3QJ1aRD

Orlando Health: Unraveling Cardiac Arrest Among Young Athletes For more Positively Osceola, visit our Social Media & Website! PositivelyOsceola.com

Heavy Metal Band Metallica Gives Valencia Student Scholarships for Fourth Year

Heavy metal band Metallica’s foundation, All Within My Hands, continues its multimilliondollar investment in critical workforce programs at community colleges nationwide, including Valencia College, that has been invited to return for a fourth year and will continue to receive Metallica Scholars funding to enhance career and technical education programs.

Altogether, Metallica’s All Within My Hands Foundation has provided $185,000 in scholarships to students in Valencia’s short-term training programs – providing adults the chance to become welders, truck drivers, heavy equipment operators and industrial automation technicians.

READ MORE, CLICK HERE: https://bit.ly/45iCXp0

For more Positively Osceola, visit our Social Media & Website! PositivelyOsceola.com NEWS

Mickey’s Not-So-Scary Halloween Party: A Spooktacular Disney World Celebration

As the Florida air begins to chill, well, hopefully it drops from the 90s to the 80s, there’s a special kind of magic that descends upon the Walt Disney World Resort when pumpkins light up with mischievous grins, ghosts and ghouls come out to play, and beloved Disney characters trade in their usual attire for enchanting costumes. This can only mean one thing – it’s time for Mickey’s Not-So-Scary Halloween Party, an annual event that combines the enchantment of Disney with the thrills of Halloween on select nights through Nov.1 from 7 p.m. to midnight.

READ MORE, CLICK HERE: https://bit.ly/480Q5Sf

Gatorland’s Gators, Ghosts and Goblins Halloween Event Returns For Fifth Year of Family Fun and Fright Done Right!

Gatorland is bringing back its popular Gators, Ghosts and Goblins Halloween event for a fifth year in a row of family fun and fright done right! The all-ages, daytime, family-friendly event takes place over three weekends in October, from Oct. 14 through 29, 2023.

For more Gatorland information, visit www.gatorland.com or call 800-393JAWS.

READ MORE, CLICK HERE: https://bit.ly/47x2VY9

For more Positively Osceola, visit our Social Media & Website! PositivelyOsceola.com

IN THE LOOP - THEME PARK NEWS

IN THE LOOP - THEME PARK NEWS

Unleashing Fear and Fun: SeaWorld Orlando’s Howl-O-Scream

SeaWorld Orlando, known for its marine life exhibits and thrilling rides, is set to transform into a realm of fright and excitement with its annual Halloween event, “Howl-O-Scream,” taking place on select nights September 8 – October 31.

This spine-chilling extravaganza promises a unique blend of scares, thrills, and entertainment that will leave guests trembling with fear and delight. As the sun sets, the park’s atmosphere changes, and the haunting fun begins. Let’s delve into what makes SeaWorld Orlando’s Howl-O-Scream a must-visit event for those seeking a different kind of theme park experience.

READ MORE, CLICK HERE: https://bit.ly/44pZY8Y

Universal Orlando’s Minion Land, featuring the all-new Villian-Con, Minion Blast, Minion Cafe, and Bake My Day is Now Open

Minion Land on Illumination Avenue is officially open at Universal Orlando Resort. Guests of all ages can now step into the beloved world of the Minions franchise like never before, experiencing a whole new level of Minion mischief in this vibrant new land.

“We are thrilled to officially welcome our guests to the all-new Minion Land,” said Karen Irwin, President & COO of Universal Orlando Resort. “This immersive and captivating new addition to our destination was brought to life in a partnership with our colleagues at Illumination and puts our guests into the heart, and villainous minds, of this diabolically fun franchise. This rich new environment has so much for all our guests to enjoy.”

READ MORE, CLICK HERE: https://bit.ly/3qsgqHO

For more Positively Osceola, visit our Social Media & Website! PositivelyOsceola.com

St. Cloud Police Utilizing State-of-theArt Interactive Training Simulator

The St. Cloud Police Department open its doors to the media on Friday to showcase its new VirTra interactive training simulator. The simulator, which cost approximately $315,000, is used to train officers in a variety of scenarios, including de-escalation, judgmental use of force, and active shooter response.

“We are excited to add this state-of-the-art simulator to our training arsenal,” said Police Chief Douglas Goerke. “This simulator will allow us to provide our officers with realistic and challenging training that will help them make the best decisions in critical situations.”

READ MORE, CLICK HERE: https://bit.ly/3OpvDRS

NEWS
more Positively Osceola, visit our Social Media & Website! PositivelyOsceola.com
For

POSITIVELY DELICIOUS

Grilled Florida Chicken Sandwich, It’s Positively Delicious!

Fresh chicken with crisp Florida arugula on toasted bread, it’s Positively Delicious!

INGREDIENTS

• 2 Florida chicken breasts, grilled

• 1 Florida tomato, sliced thin

• 2 cups Florida arugula

• 3 garlic cloves

• 1 lemon, zested and juiced

• 1/2 cup olive oil

• 2 tablespoons unsalted butter, softened to room temperature

• Sandwich bread (your favorite)

• Sea salt and fresh ground pepper

READ MORE, CLICK HERE: https://bit.ly/43XgVI3

End Your Summer Day with Grilled Florida Key Lime Shrimp Skewers, They’re Positively Delicious!

After a long day at the beach soaking up the sun, reward yourself with a delicious meal. Try these Grilled Shrimp skewers made with fresh Florida seafood…they’re Positively Delicious!

INGREDIENTS

• 1 pound Florida shrimp, peeled and deveined

• 4 Florida Key limes, juiced

• ½ Florida avocado, mashed

• 2 tablespoons parsley, chopped

• ½ cup mayonnaise

• ½ cup sour cream

• 2 tablespoons spicy mustard

• 1 tablespoon smoked paprika

• 1 tablespoon prepared horseradish

• 1 teaspoon hot sauce

• 1 teaspoon garlic, minced

• 1 tablespoon all-purpose seasoning

• 1 lemon, juiced

• Oil for cooking

• Sea salt and fresh ground pepper, to taste

READ MORE, CLICK HERE: https://bit.ly/3XNATmC

For more Positively Osceola, visit our Social Media & Website! PositivelyOsceola.com

Grilled Florida Mahi-Mahi with Mango

Fried Rice, It’s Positively Delicious

Creating a delectable dish like Grilled Florida MahiMahi with Mango Fried Rice is a culinary journey that brings together the vibrant flavors of the Sunshine State. Starting with the star of the dish, the succulent MahiMahi fillets are seasoned to perfection and then skillfully grilled to achieve a smoky char that complements the fish’s delicate taste. As the Mahi-Mahi grills, attention turns to the fragrant Mango Fried Rice. The rice, cooked to a fluffy perfection, becomes a canvas for a tropical symphony of flavors as juicy chunks of ripe mango, colorful bell peppers, and aromatic spices are introduced. With each forkful, the sweetness of the mango contrasts harmoniously with the savory rice, creating a fusion of tastes that transport you to a paradise of flavors. Together, the grilled Mahi-Mahi and the Mango Fried Rice create a Positively Delicious dish that encapsulates the essence of Florida’s bountiful harvest, offering a tantalizing experience that’s both satisfying and positively unforgettable.

READ MORE, CLICK HERE: https://bit.ly/3OKN9Qy

Florida Honey-Glazed Fried Chicken Wings, It’s Positively Delicious!

Honey-glazed fried chicken wings with the perfect mix of crunch and tang…it’s Positively Delicious!

INGREDIENTS

• 12 Florida chicken wings

• ⅓ cup Florida honey

• ¼ cup Florida orange juice

• 10 sprigs fresh thyme, finely chopped

• 3 eggs, beaten

• 2 cups all-purpose flour

• 2 cups bread crumbs

• 3 tablespoons all-purpose seasoning

• Vegetable oil for frying

• Sea salt and fresh ground pepper, to taste

READ MORE, CLICK HERE: https://bit.ly/3CDS3sU

For more Positively Osceola, visit our Social Media & Website! PositivelyOsceola.com

POSITIVELY DELICIOUS

be confident.

We provide trusted, quality care in your community. At Orlando Health St. Cloud Hospital, get access to care from an expert and compassionate clinical team for all of your healthcare needs — from emergency services to heart care, surgical services and more — all close to home. Giving you more reasons to choose well. OrlandoHealth.com/StCloud choose well.

Turn static files into dynamic content formats.

Create a flipbook
Issuu converts static files into: digital portfolios, online yearbooks, online catalogs, digital photo albums and more. Sign up and create your flipbook.
Positively Osceola News Today, Osceola County's Leading and Trusted Source For Local News by Positively Osceola - Issuu