Positively Osceola News Today, Osceola County's Leading and Trusted Source For Local News

Page 1

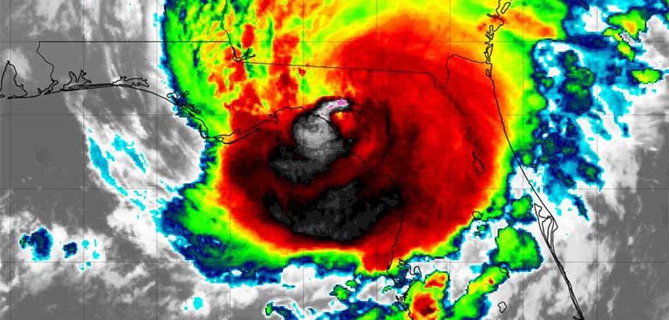
Hurricane Idalia makes Florida landfall in Florida’s Big Bend as major Category 3 hurricane

Moana Fans Rejoice: Walt Disney World Teases First Glimpse of Journey of Water at EPCOT

KUA Customer Service Center Closed on Wednesday Due to Hurricane Idalia

Osceola County Weather: Expect Off and On Showers, Temps in the Upper 80s as Idalia Continues to Exits Florida

Gatorland’s Gators, Ghosts and Goblins Halloween Event Returns For Fifth Year of Family Fun and Fright Done Right!

For more Positively Osceola, visit our Social Media & Website! PositivelyOsceola.com

WEDNESDAY, AUGUST 30 2023

Central Avenue Elementary School was the recipient of a huge school supply donation made by the Central Florida Indian Community

For more Positively Osceola, visit our Social Media & Website! PositivelyOsceola.com For more Positively Osceola, visit our Social Media & Website! PositivelyOsceola.com IN & AROUND OSCEOLA
the soul of Friday
at Harmony, the 2023 Harmony High
Marching
as Osceola County, City of St.
City of Kissimmee, and other Officials,
Update
Storm
Introducing
Nights
School
Band LIVE
Cloud,
Provide
as Tropical
Idalia Continues to Strengthen and Approach Florida

IN & AROUND OSCEOLA

LIVE at the Downtown Kissimmee Councils Downtown Upate as Rick Lewellyan with Downtown Gather & Grow speaks

LIVE with Jurassic Jungle at the Kissimmee Civic Center

LIVE at the Downtown Kissimmee Councils Downtown Update as Deputy Chief Manager, Desiree Matthews, updates the community

LIVE at Bella Roma Pizzeria, voted Osceola’s Best Pizza

LIVE with Jude Smith of City of Life Church, whose wish was granted by the Nikolas Ritschel Foundation

For more Positively Osceola, visit our Social Media & Website! PositivelyOsceola.com

ON DEMAND LIVESTREAMS

LIVE with Charlie Draper of Draper Law Office

August 16th, 2023

LIVE with District 46 State Representative Kristen Arrington

July 26th, 2023

LIVE with Michelle Incandela of Draper Law Office

July 19th, 2023

LIVE with new Osceola School District Superintendent, Dr. Mark Shanoff

June 26th, 2023

LIVE with Michelle Incandela of Draper Law Office

June 21st, 2023

more Positively Osceola, visit our Social Media & Website! PositivelyOsceola.com
For

VIDEOS ON DEMAND

The Mayor’s Minute with St. Cloud Mayor Nathan Blackwell

The Mayor’s Minute with Nathan Blackwell, Mayor of the City of St. Cloud, Florida. Community teenagers are encouraged to serve on the Teen Recreation Advisory Committee. Toddler Open Gym resumes on Mondays and Wednesdays beginning Sept. 11th. Operation Nerf Battle at the St. Cloud Civic Center Sept. 16th

Positively Osceola, Making a Positive Difference in and Around Osceola County!

Stay informed and inspired with Positively Osceola, your 24/7 go-to news in and around Osceola County! Positively Osceola shares the latest updates on local events, community achievements, and inspiring stories. From heartwarming features to breaking news, PO has you covered. Experience the power of positivity with Positively Osceola!

Kissimmee Utility Authority Hurricane Handbook

With the 2023 Atlantic Hurricane Season here, Kissimmee Utility Authority has released its 2023 Osceola Hurricane Handbook, a free, bilingual, comprehensive preparedness guide offered annually to Osceola County residents.

Talent Tuesday at Orlando Health St. Cloud Hospital

Every Tuesday is Talent Tuesday at Orlando Health St. Cloud Hospital from 1-3pm.

SeaWorld Orlando’s Summer Spectacular Concert Series

Check out the lineup for SeaWorld Orlando’s Summer Spectacular Concert Series every Saturday and Sunday night from July 8th to August 6th.

For more Positively Osceola, visit our Social Media & Website! PositivelyOsceola.com

Hurricane Idalia makes Florida landfall in Florida’s Big Bend as major Category 3 hurricane

The center of Hurricane Idalia made landfall as a powerful Category 3 storm close to Keaton Beach around 7:45 a.m. on Wednesday, carrying maximum sustained winds of 125 mph with perilous storm surge, destructive winds, heavy rainfall, and flooding. Hurricane Idalia was located about 55 miles northwest of Cedar Key and 65 miles southsoutheast of Tallahassee.

The initial assessment is that Idalia equals the most intense hurricane landfall ever documented in Florida’s Big Bend region.

“There will be impacts far beyond the eyewall,” Gov. Ron DeSantis said Wednesday morning at a press conference from the State Emergency Operations Center in Tallahassee.

Many residents in the east and northern portions of Osceola County received an early morning ‘wake-up’ call after the The National Weather Service in Melbourne sent out tornado warnings shortly after 4am. For the most part, Osceola has been receiving some wind, thunder and lightening, and steady rainfall, with minimal reports of damage in connection to Hurricane Idalia.

For more Positively Osceola, visit our Social Media & Website! PositivelyOsceola.com

NEWS
MORE, CLICK HERE: https://bit.ly/3YUDVG4
READ

Moana Fans Rejoice: Walt Disney World Teases First Glimpse of Journey of Water at EPCOT

Journey of Water, Inspired by Moana will soon welcome adventurers in EPCOT. Guests will be able to explore a serene walking trail that entertains, inspires and educates as they engage with water in magical ways like Moana did with the ocean. The new attraction is located in the World Nature neighborhood of EPCOT at Walt Disney World Resort.

Continuing the thread of conservation highlighted by those pavilions, the Journey of Water presents a self-guided exploration path that encourages visitors to establish a connection with water, mirroring Moana’s journey in the animated movie.

Walt Disney World Cast Members will be among the first to experience the new attraction. Disney has not yet released an an official opening date for the public.

READ MORE, CLICK HERE: https://bit.ly/45ulgUd

KUA Customer Service Center Closed on Wednesday Due to Hurricane Idalia

Due to Hurricane Idalia, Kissimmee Utility Authority’s Customer Service Center is closed today, Wednesday, Aug. 30.

The utility’s call center will continue to operate during normal business hours on Wednesday, from 7 a.m. until 6 p.m., to accommodate utility payments and other services. KUA’s customer service representatives can be reached at 407-9339800. Customers can also make payments and manage their account at my.kua.com, and contact us via chat at kua.com and email at customerservice@kua.com.

Customers who experience a power outage can report it quickly by texting the word “out,” to 877-582-7700. This is the fastest way to notify KUA about an outage.

READ MORE, CLICK HERE: https://bit.ly/3YXGbMX

For more Positively Osceola, visit our Social Media & Website! PositivelyOsceola.com

NEWS

Osceola County Weather: Expect Off and On Showers, Temps in the Upper 80s as Idalia Continues to Exits Florida

Happy Wednesday Osceola! Hurricane Idalia will bring on an off scattered showers and possible thunderstorms throughout the day. Showers will diminish as the day progresses but the day will feel muggy and a bit ‘tropical’ most of the day. Additional tornado warnings are possible as the storm continues to make its way out of the state. Mostly cloudy throughout the day with a high near 89. Chance of precipitation is 70%. New rainfall amounts between a quarter and half of an inch are possible.

Tonight

A 40 percent chance of showers and thunderstorms. Mostly cloudy, with a low around 77. Windy, with a southwest wind 15 to 20 mph decreasing to 10 to 15 mph after midnight. Winds could gust as high as 30 mph.

READ MORE, CLICK HERE: https://bit.ly/3QZ5v30

Safety Behind the Wheel: Enroll Now in the Osceola County Sheriff’s Office Teen Driver Challenge Class

September 23

In an effort to ensure safer roads and instill responsible driving habits in young individuals, the Osceola County Sheriff’s Office offers a very special program called the Teen Driver Challenge.

Aimed at equipping teen drivers with the necessary skills and knowledge to navigate the challenges of the road, this initiative has proven to be a significant step towards reducing accidents and promoting road safety. The next class is scheduled for September 23, 2023 at the Osceola County Sheriff’s Office Training Facility, located at 3901 Arthur J Gallagher Blvd. in St. Cloud.

READ MORE, CLICK HERE: https://bit.ly/3OUvc21

For more Positively Osceola, visit our Social Media & Website! PositivelyOsceola.com

NEWS

KUA Seeks Student Art Entries for 2024 Energy Conservation Calendar

Kissimmee Utility Authority invites Osceola County students to showcase their artistic expression to promote energy conversation in the utility’s 30th Annual Calendar Art Contest.

The annual contest is open to Osceola County students enrolled in kindergarten through fifth grade, including public, charter, private, and homeschooled students.

In their entry, students are asked to use crayons, markers, or paints to depict an energy conservation message. A panel of local judges will select the 12 best entries to be used for each calendar month, which will be featured in the utility’s 2024 calendar.

READ MORE, CLICK HERE: https://bit.ly/3QQOaJO

Gatorland’s Gators, Ghosts and Goblins Halloween Event Returns For Fifth Year of Family Fun and Fright Done Right!

Gatorland is bringing back its popular Gators, Ghosts and Goblins Halloween event for a fifth year in a row of family fun and fright done right! The all-ages, daytime, family-friendly event takes place over three weekends in October, from Oct. 14 through 29, 2023.

For more Gatorland information, visit www.gatorland.com or call 800393-JAWS.

READ MORE, CLICK HERE: https://bit.ly/47x2VY9

For more Positively Osceola, visit our Social Media & Website! PositivelyOsceola.com

NEWS

Osceola Air: The Importance of Preventative Maintenance for Home Air Conditioners in Florida

Stay Cool and Comfy with Osceola Air’s Expert Tips

As the scorching sun continues to beat down Osceola County and the entire Sunshine State, a reliable air conditioner is not just a luxury but a necessity for comfort and good health. With temperatures soaring and humidity levels skyrocketing, homeowners in Florida heavily rely on their air conditioning systems to provide respite from the sweltering heat. However, the harsh climate and demanding workload can take a toll on these cooling units, making regular preventative maintenance crucial for their longevity and optimal performance.

READ MORE, CLICK HERE: https://bit.ly/3Oasgyd

For more Positively Osceola, visit our Social Media & Website! PositivelyOsceola.com NEWS

Driving Dreams: Osceola Council On Aging’s 4th Annual Car Raffle Fundraiser

The Osceola Council On Aging has revved up its highly anticipated 4th Annual Car Raffle Fundraiser, an exciting event that promises to make dreams come true for both the lucky winner and the local senior community.

The 4th Annual Car Raffle Fundraiser is a testament to the OCOA’s commitment to making a lasting difference in the lives of seniors, and brings together the community, local businesses, and philanthropic individuals in a spirit of generosity and camaraderie. This year’s lucky ticket will be drawn 30 minutes prior to 12:00 p.m. on Friday, December 29, 2023.

READ MORE, CLICK HERE: https://bit.ly/3rWR6tE

For more Positively Osceola, visit our Social Media & Website! PositivelyOsceola.com NEWS

Poinciana Eagles Outlook: Coach Beeken Says Transfer High Should Be Called Homecoming High

Last year several outstanding football players transferred to Poinciana High, including Perry Garrett and Donald Cummings. Those athletes played a major role in the Eagles recording an 8-2 record – a school record for wins and just the second winning record in the two-plus decades since the school opened.

Head Coach Randy Beeken will be counting on several more incoming transfers in 2023, as the Eagles look to duplicate or exceed last year’s win total. Yet the fifth-year coach doesn’t consider the influx of talent as transfers but rather a homecoming.

“Over the years, particularly before the current staff arrived, we had a lot of great athletes leave the school for winning programs. A lot of the guys now transferring in were originally zoned to go to school here in the first place. I consider these guys as coming home and not transferring in.”

One of those players originally zoned for Poinciana is junior Cameron Brown, who is expected to take over at quarterback for graduated senior De’Kwan Bradley. Brown played his freshman season at Osceola, before transferring to Cypress Creek where he went 7-3 as a starter.

He will have a talented bevy of wide receivers and running backs at his disposal as he takes over the Poinciana offense. Those players include Osceola transfer and senior Akeem Knox, who will be the featured running back this year after playing behind Kowboys superstar Taevion Swint. Ernest Nunn (WR), Jaeden Gerard (WR), Wil Nezius (RB), Nathaniel Jeanninton (WR-transfer) and Amir Alli (WR-Transfer) are all explosive players who will contribute to the Eagles offense in 2023.

“We had our best season last year and a lot of it had to do with our seniors like Bradley, Garrett, Cummings, and Mike Centeno,” Beeken said. “But I wouldn’t be honest if I didn’t say I wasn’t more excited about the players we have in camp right now. This is the most talented roster, especially on offense, since I have been here and most likely the best in school history.”

SPORTS
more Positively Osceola, visit our Social Media & Website! PositivelyOsceola.com
For
MORE, CLICK HERE: https://bit.ly/3QT6Kkn
READ

Weather-or-Not: SeaWorld Launches New Complimentary Return Policy for WeatherDisrupted Park Visits

If your next visit to SeaWorld Orlando is affected by rain, intense heat, or other weather-related occurrences, you will now have the opportunity to come back within a year without any additional cost.

SeaWorld’s new Weather-or-Not Assurance program can give you an opportunity to receive a complimentary return visit!

For instance:

• If inclement weather leads to an early park closure or significantly affects operating hours.

READ MORE, CLICK HERE: https://bit.ly/3KSOQu2

For
Positively Osceola,
our Social Media & Website! PositivelyOsceola.com NEWS
more
visit

Orlando Health Dr. P. Phillips Hospital has achieved national recognition with the American Heart Association Get With The Guidelines – Stroke Gold Plus quality achievement award. The award recognizes the hospital’s dedication to ensuring stroke patients receive the most appropriate treatment according to nationally recognized, research-based guidelines.

“This award reaffirms our commitment to improving stroke care,” said Amit Bansal, MD, chief quality officer, Orlando Health Dr. P. Phillips Hospital. “We are proud of our dedicated team, who continue to make significant strides in early stroke detection and treatment, which is key to improving a patient’s health and recovery.”

Get With The Guidelines – Stroke, is an in-hospital program for improving stroke care by promoting consistent adherence to these guidelines, which can minimize the longterm effects of a stroke and prevent death.

READ MORE, CLICK HERE: https://bit.ly/3pYJcj6

For more Positively Osceola, visit our Social Media & Website! PositivelyOsceola.com

NEWS
Orlando Health Dr. P. Phillips Hospital recognized by American Heart Association for stroke care

Leaves and Luggage: A Peek into the Upward Trend in Fall Travel Searches

According to the Fall Travel Forecast released by Expedia, Hotels.com and Vrbo, the surge in travel demand seen over the summer is projected to continue into the cooler months, with the travel brands showing year-over-year search increases for fall getaways.

According to Expedia, flight searches for fall are up 15%, and hotel searches increased 20% compared to fall 2022.1

As temperatures drop, so do prices, providing plenty of opportunities for budget-savvy travelers to score a getaway for less.

more Positively Osceola, visit our Social Media & Website! PositivelyOsceola.com NEWS
For
MORE,
READ
CLICK HERE: https://bit.ly/45msmtN

St. Cloud Main Street’s Annual Awards Dinner Honors Partners, Volunteers, and Businesses

On Monday, St. Cloud Main Street hosted their Annual Awards Dinner that commemorates the organization’s achievements over the past year and gives the organization an opportunity to recognize individuals and businesses that have helped the community and the Main Street program. This year Main Street recognized seven different award winners along with this year’s sponsors.

OUC was recognized as Partner of the Year for their continued support of St. Cloud Main Street and donation of $10,000.

Toho Water Authority was recognized as Supporter of the Year for sponsoring “Taste of Main Street,” a new Main Street event that took place in the St. Cloud Marina Building.

READ MORE, CLICK HERE: https://bit.ly/47LiUSc

For more Positively Osceola, visit our Social Media & Website! PositivelyOsceola.com NEWS

Calling Future Legislators: Representative Kristen Arrington Introduces High School Bill Writing Contest in House District 46

The Office of State Representative Kristen A. Arrington is encouraging high school students to actively engage in the legislative process and strategically address issues within our community by participating in their HD 46 Bill Writing Contest.

Representative Arrington is calling on all high school students in House District 46 to identify an issue within our community, prepare a one-page solution to address the issue, and submit the solution to her office by October 1st. She will sponsor the winning bill idea as one of her seven bills in the 2024 Legislative Session.

READ MORE, CLICK HERE: https://bit.ly/45HBCbS

For more Positively Osceola, visit our Social Media & Website! PositivelyOsceola.com NEWS

Osceola County Breaks Ground on Fire Station 85 on Cypress Parkway

Osceola County held a groundbreaking event on Monday for Fire Station 85, strategically located along Cypress Parkway. This pivotal addition not only signifies a step forward in enhancing public safety in the area, but also elevates the total count of stations within the County to 16. Station 85 station is poised to play a crucial role in enhancing emergency response capabilities and providing timely assistance to the community.

The new station is important because it relocates existing Osceola County units from a station within Polk County to a more efficient location in Osceola County, allowing the department to better serve residents.

READ MORE, CLICK HERE: https://bit.ly/44bBXCv

For more Positively Osceola, visit our Social Media & Website! PositivelyOsceola.com NEWS

St. Cloud Police to host “One Blood”

donation event to help save lives

The St. Cloud Police Department will partner with One Blood on Tuesday, August 15th from 11am to 4pm at the St. Cloud Police Department, offering citizens a convenient location for donating blood, and helping to save lives.

The St. Cloud PD donation site is for everyone 16 years and older. Donors who are 16 years old will need parental permission, and everyone planning to donate will need to present a valid ID to donate.

To schedule an appointment, visit oneblood.org/donate-now and use sponsor code #23834.

READ MORE, CLICK HERE: https://bit.ly/3XHEOkL

For more Positively Osceola, visit our Social Media & Website! PositivelyOsceola.com NEWS

Making Business Better, Together

E F E
C E OBRS.NET
OSCEOLA BUSINESS R
R R A L S E R V I

HEALTH

Orlando Health: Cottage Cheese: The Protein

Powerhouse That’s a Dreamy, Creamy TikTok Hit

More than 550 million views on TikTok can’t be wrong: Cottage cheese is hot. Blended into ice cream or bread dough or straight off the spoon, it’s fun to watch Gen Z discover the creamy goodness your grandmother loved.

But cottage cheese goes back further than that — curdled-milk cheese is mentioned in Homer’s Odyssey, and there’s evidence of its existence in the Middle East as early as 5,000 B.C. So why the hullabaloo now?

Some put it down to Americans’ insatiable taste for soft and creamy comfort foods. But cottage cheese has survived the eons for a good reason: It’s packed with protein. One cup can contain as much as 25 grams, the equivalent of a double cheeseburger. But as with that burger, there can be other things to be aware of, like the amount of salt and added sugar.

READ MORE, CLICK HERE: https://bit.ly/3DuzMiv

Positively Osceola, visit our Social Media & Website! PositivelyOsceola.com
For more

INJURY LAW

Draper Law: Which vehicles are more likely to be involved in serious or fatal accidents?

Sadly, serious and fatal accidents take place on a daily basis in Central Florida. These crashes can happen in a number of ways and can be caused by not following traffic laws, inexperience, intoxication, distracted driving, fatigue, and medical issues.

Statistics show that fatal car accidents can often occur based on the type of vehicle. You may think that sports cars are most likely to be in crashes due to their speed and performance. However, according to the NHTSA, it’s the everyday cars, trucks, and SUVs on the roadways that are involved more frequently in serious or even deadly accidents, with sedans and pickup trucks accounting for more than three-quarters of fatal accidents. If you drive out on the roadways, here’s what you need to know about which vehicles have been involved in many of the crashes.

For more Positively Osceola, visit our Social Media & Website! PositivelyOsceola.com
READ MORE, CLICK HERE: https://bit.ly/3ptK6Uz

Steering St. Cloud: Weigh in on the Future of Transportation with St. Cloud’s Public Input Online Survey

The City’s of St. Cloud’s Transportation Planning department is seeking additional public input on transportation needs in and around the city, as they work to update its Transportation & Mobility Master Plan.

Earlier this year, the City held public meetings to solicit input on transportation needs, and are now asking the public for additional feedback through an online Virtual Meeting Room. The master planning process includes data collection, inventory of unfunded projects, and evaluation of potential projects, as well as considering areas in the Osceola County/St. Cloud Joint Planning Area (JPA).

To learn more about the project and complete a survey about transportation needs, visit the Virtual Meeting Room, where you can view a slide show, watch a video, and complete the survey.

READ MORE, CLICK HERE: https://bit.ly/3P5abmD

For more Positively Osceola, visit our Social Media & Website! PositivelyOsceola.com
NEWS

Beware of online scams when searching for home weatherization assistance programs

The Osceola Council on Aging is warning the community to beware of fraudulent websites while searching for home weatherization programs. These websites ask people to fill out online forms, which are then used to steal the applicant’s personal information. Unfortunately, when a victim of this malicious fraud attempts to contact the company, they receive no response or support.

READ MORE, CLICK HERE: https://bit.ly/44DSoZo

For more Positively Osceola, visit our Social Media & Website! PositivelyOsceola.com NEWS

HEALTH

Salvador N. Lanza, MD Cardiologist Orlando Health Heart and Vascular Institute

When a prominent young athlete suffers a cardiac arrest, it creates shockwaves in the world of sports and beyond. How does this happen to someone in peak physical condition? And what does that mean for the rest of us?

In the most recent incident, Bronny James – son of NBA superstar LeBron James – had a cardiac arrest during a team practice at the University of Southern California. The 18-year-old James survived, in part, because of quick action by team staffers. Among the general population, the survival rate from sudden cardiac arrest is less than 12 percent, largely because bystanders don’t take appropriate action.

These high-profile events – as was the case earlier this year when NFL player Damar Hamlin suffered a cardiac arrest during a game – draw attention to potential heart problems faced by young athletes.

Although these are rare occurrences, sudden cardiac arrest is still the No. 1 cause of death among this group. Sports programs are getting better at detecting potential problems before they arise.

We still don’t know exactly what caused James’ heart issue. But we can look at some of the potential causes.

CARDIAC ARREST IN YOUNG ATHLETES

When cardiac arrest in occurs in people under the age of 35, it’s usually not caused by the same factors (artery blockage, for example) responsible for cardiac arrest in older adults. Instead, it tends to be a condition the athlete was born with or something that was acquired.

READ MORE, CLICK HERE: https://bit.ly/3QJ1aRD

Orlando Health: Unraveling Cardiac Arrest Among Young Athletes For more Positively Osceola, visit our Social Media & Website! PositivelyOsceola.com

Heavy Metal Band Metallica Gives Valencia Student Scholarships for Fourth Year

Heavy metal band Metallica’s foundation, All Within My Hands, continues its multimilliondollar investment in critical workforce programs at community colleges nationwide, including Valencia College, that has been invited to return for a fourth year and will continue to receive Metallica Scholars funding to enhance career and technical education programs.

Altogether, Metallica’s All Within My Hands Foundation has provided $185,000 in scholarships to students in Valencia’s short-term training programs – providing adults the chance to become welders, truck drivers, heavy equipment operators and industrial automation technicians.

READ MORE, CLICK HERE: https://bit.ly/45iCXp0

For more Positively Osceola, visit our Social Media & Website! PositivelyOsceola.com NEWS

Mickey’s Not-So-Scary Halloween Party: A Spooktacular Disney World Celebration

As the Florida air begins to chill, well, hopefully it drops from the 90s to the 80s, there’s a special kind of magic that descends upon the Walt Disney World Resort when pumpkins light up with mischievous grins, ghosts and ghouls come out to play, and beloved Disney characters trade in their usual attire for enchanting costumes. This can only mean one thing – it’s time for Mickey’s Not-So-Scary Halloween Party, an annual event that combines the enchantment of Disney with the thrills of Halloween on select nights through Nov.1 from 7 p.m. to midnight.

READ MORE, CLICK HERE: https://bit.ly/480Q5Sf

All-New “Holiday Nights” Light Spectacular at Island H2O Water Park Begins Nov. 8, portion of proceeds to Give Kids The World

A flurry of tropical holiday magic is coming to Island H2O Water Park with the park’s all-new “Holiday Nights” immersive island-themed holiday spectacle every Wednesday through Sunday from Nov. 8 – Dec. 10 and everyday Dec. 13 – 31.

During 44 nights, hundreds of thousands of twinkling lights, themed displays, unique photo spots, live entertainment, and tantalizingly themed treats and gifts will transform Island H2O Water Park into an extravaganza for the whole family.

READ MORE, CLICK HERE: https://bit.ly/3qsvO6W

For more Positively Osceola, visit our Social Media & Website! PositivelyOsceola.com

IN THE LOOP - THEME PARK NEWS

IN THE LOOP - THEME PARK NEWS

Unleashing Fear and Fun: SeaWorld Orlando’s Howl-O-Scream

SeaWorld Orlando, known for its marine life exhibits and thrilling rides, is set to transform into a realm of fright and excitement with its annual Halloween event, “Howl-O-Scream,” taking place on select nights September 8 – October 31.

This spine-chilling extravaganza promises a unique blend of scares, thrills, and entertainment that will leave guests trembling with fear and delight. As the sun sets, the park’s atmosphere changes, and the haunting fun begins. Let’s delve into what makes SeaWorld Orlando’s Howl-O-Scream a must-visit event for those seeking a different kind of theme park experience.

READ MORE, CLICK HERE: https://bit.ly/44pZY8Y

Universal Orlando’s Minion Land, featuring the all-new Villian-Con, Minion Blast, Minion Cafe, and Bake My Day is Now Open

Minion Land on Illumination Avenue is officially open at Universal Orlando Resort. Guests of all ages can now step into the beloved world of the Minions franchise like never before, experiencing a whole new level of Minion mischief in this vibrant new land.

“We are thrilled to officially welcome our guests to the all-new Minion Land,” said Karen Irwin, President & COO of Universal Orlando Resort. “This immersive and captivating new addition to our destination was brought to life in a partnership with our colleagues at Illumination and puts our guests into the heart, and villainous minds, of this diabolically fun franchise. This rich new environment has so much for all our guests to enjoy.”

READ MORE, CLICK HERE: https://bit.ly/3qsgqHO

For more Positively Osceola, visit our Social Media & Website! PositivelyOsceola.com

Osceola Magic’s Swish Joins the Community in Supporting Education Foundation of Osceola’s School Supply Drive as New School Nears!

The Osceola Magic’s mascot Swish, joined “The New Start Thrift Store” and ‘Clancy & Theys Construction Company” in reminding the community that the Education Foundation of Osceola County is still accepting donations for school supplies for the school year.

The New Start Thrift Store donated $2,000 and Clancy & Theys Construction Company donated $1,000 to the foundation’s school supply drive during Tuesday’s school board meeting.

NEWS For more Positively Osceola, visit our Social Media & Website! PositivelyOsceola.com
READ MORE, CLICK HERE: https://bit.ly/3DFNj6U

St. Cloud Police Utilizing State-of-theArt Interactive Training Simulator

The St. Cloud Police Department open its doors to the media on Friday to showcase its new VirTra interactive training simulator. The simulator, which cost approximately $315,000, is used to train officers in a variety of scenarios, including de-escalation, judgmental use of force, and active shooter response.

“We are excited to add this state-of-the-art simulator to our training arsenal,” said Police Chief Douglas Goerke. “This simulator will allow us to provide our officers with realistic and challenging training that will help them make the best decisions in critical situations.”

READ MORE, CLICK HERE: https://bit.ly/3OpvDRS

NEWS
more Positively Osceola, visit our Social Media & Website! PositivelyOsceola.com
For

POSITIVELY DELICIOUS

Grilled Florida Chicken Sandwich, It’s Positively Delicious!

Fresh chicken with crisp Florida arugula on toasted bread, it’s Positively Delicious!

INGREDIENTS

• 2 Florida chicken breasts, grilled

• 1 Florida tomato, sliced thin

• 2 cups Florida arugula

• 3 garlic cloves

• 1 lemon, zested and juiced

• 1/2 cup olive oil

• 2 tablespoons unsalted butter, softened to room temperature

• Sandwich bread (your favorite)

• Sea salt and fresh ground pepper

READ MORE, CLICK HERE: https://bit.ly/43XgVI3

End Your Summer Day with Grilled Florida Key Lime Shrimp Skewers, They’re Positively Delicious!

After a long day at the beach soaking up the sun, reward yourself with a delicious meal. Try these Grilled Shrimp skewers made with fresh Florida seafood…they’re Positively Delicious!

INGREDIENTS

• 1 pound Florida shrimp, peeled and deveined

• 4 Florida Key limes, juiced

• ½ Florida avocado, mashed

• 2 tablespoons parsley, chopped

• ½ cup mayonnaise

• ½ cup sour cream

• 2 tablespoons spicy mustard

• 1 tablespoon smoked paprika

• 1 tablespoon prepared horseradish

• 1 teaspoon hot sauce

• 1 teaspoon garlic, minced

• 1 tablespoon all-purpose seasoning

• 1 lemon, juiced

• Oil for cooking

• Sea salt and fresh ground pepper, to taste

READ MORE, CLICK HERE: https://bit.ly/3XNATmC

For more Positively Osceola, visit our Social Media & Website! PositivelyOsceola.com

Grilled Florida Mahi-Mahi with Mango

Fried Rice, It’s Positively Delicious

Creating a delectable dish like Grilled Florida MahiMahi with Mango Fried Rice is a culinary journey that brings together the vibrant flavors of the Sunshine State. Starting with the star of the dish, the succulent MahiMahi fillets are seasoned to perfection and then skillfully grilled to achieve a smoky char that complements the fish’s delicate taste. As the Mahi-Mahi grills, attention turns to the fragrant Mango Fried Rice. The rice, cooked to a fluffy perfection, becomes a canvas for a tropical symphony of flavors as juicy chunks of ripe mango, colorful bell peppers, and aromatic spices are introduced. With each forkful, the sweetness of the mango contrasts harmoniously with the savory rice, creating a fusion of tastes that transport you to a paradise of flavors. Together, the grilled Mahi-Mahi and the Mango Fried Rice create a Positively Delicious dish that encapsulates the essence of Florida’s bountiful harvest, offering a tantalizing experience that’s both satisfying and positively unforgettable.

READ MORE, CLICK HERE: https://bit.ly/3OKN9Qy

Florida Honey-Glazed Fried Chicken Wings, It’s Positively Delicious!

Honey-glazed fried chicken wings with the perfect mix of crunch and tang…it’s Positively Delicious!

INGREDIENTS

• 12 Florida chicken wings

• ⅓ cup Florida honey

• ¼ cup Florida orange juice

• 10 sprigs fresh thyme, finely chopped

• 3 eggs, beaten

• 2 cups all-purpose flour

• 2 cups bread crumbs

• 3 tablespoons all-purpose seasoning

• Vegetable oil for frying

• Sea salt and fresh ground pepper, to taste

READ MORE, CLICK HERE: https://bit.ly/3CDS3sU

For more Positively Osceola, visit our Social Media & Website! PositivelyOsceola.com

POSITIVELY DELICIOUS

be confident.

We provide trusted, quality care in your community. At Orlando Health St. Cloud Hospital, get access to care from an expert and compassionate clinical team for all of your healthcare needs — from emergency services to heart care, surgical services and more — all close to home. Giving you more reasons to choose well. OrlandoHealth.com/StCloud choose well.

Turn static files into dynamic content formats.

Create a flipbook
Issuu converts static files into: digital portfolios, online yearbooks, online catalogs, digital photo albums and more. Sign up and create your flipbook.