3. November 2024 Ausgabe Nr. 37

OB-Firmenbesuch bei einem soliden Handwerksbetrieb: Seite 4

Themen für Albersbösch: Seite 11 Foto: Stadt
![]()
3. November 2024 Ausgabe Nr. 37

OB-Firmenbesuch bei einem soliden Handwerksbetrieb: Seite 4

Themen für Albersbösch: Seite 11 Foto: Stadt
+++ Matthias Zanger sitzt für die CDU neu im Gemeinderat: SEITE 2 +++ Am 8. und 9. November dreht sich vieles um die Wärmepumpe: SEITE 5 +++ Ludwig Gütle wird als Ortsvorsteher von Windschläg verabschiedet: SEITE 6 +++
Neue Ausstellung in der städtischen Galerie mit Begleitprogramm/Vom 9. November bis 27. April
KULTUR Die neue Ausstellung „O(h) Wald“ wird am Freitag, 8. November, 19 Uhr, durch Kulturbürgermeister Hans-Peter Kopp in der Städtischen Galerie Offenburg eröffnet. Vom 9. November bis zum 27. April 2025 besteht die Möglichkeit, das etwas andere Waldbaden auf dem Kulturforum zu testen.
Der Wald als Idylle, Kraftort und ein Ort der Mythen wird vom Menschen geliebt und wertgeschätzt. Dem gegenüber steht die permanente Zerstörung des sensiblen Naturraumes. Die Ausstellung reflektiert die tiefe Verbundenheit mit dem Wald und hinterfragt gleichzeitig die Auswirkungen unseres Handelns.
Zu sehen sind zwölf künstlerische Positionen, die diese Ambivalenz thematisieren. Die ausgewählten Künstler*innen gehen dabei unterschiedlich auf die komplexe und oft widersprüchliche Beziehung zu einem der wichtigsten Ökosysteme der Erde ein – mit Malerei, Zeichnung, Skulptur, Video, Fotografie und Installation. Malgosia Jankowska bringt in ihren großformatigen Tuschearbeiten die mystischen Aspekte der Natur zum Ausdruck, inspiriert von Märchen und Sagen. Christine Brunella hingegen weckt in den zarten Zeichnungen mit Epoxidharz ein Gefühl der Zugehörigkeit des Menschen zur Natur und zeigt, wie das Staunen über die natürliche Welt ein Gefühl von Erdung und Stärke vermitteln kann.

Fragilität und Dualität thematisiert Philipp Fürhofer in seinen Leuchtkästen.
Anne Carnein interpretiert Pflanzen, wie Farne und Pilze in Skulpturen aus recycelten Textilien und verweist so auf den Kreislauf des Lebens und die Bedeutung von Nachhaltigkeit.
Im vielseitigen Werk der Offenburger Künstlerin Gretel HaasGerber (1903-1998) ist der Wald vor allem in den Zeichnungen zu entdecken. Der heimische Wald findet sich vorrangig in Darstellungen aus den frühen Schaffensjahren der Künstlerin wieder.
Die kleinformatigen Gemälde und Aquarelle des Offenburger Malers Achim von Heimburg (1948-2015) sind direkt in der Natur entstanden. Die Werke fangen unverfälschte Eindrücke des Waldes ein, indem sie die Atmosphäre und die satten Grüntöne der Umgebung spiegeln.
Die Wälder seiner Heimatregion Schwarzwald dienen Stefan Strumbel als Inspiration für seine Mixed Media Werke.
Martin Sander hält in den vielen Variationen seiner in Öl
gemalten Waldstücke vor allem die Stimmung der Naturlandschaft fest.
Philipp Fürhofer thematisiert in seinen (Leucht-)Kästen die Fragilität der Natur und die Dualität von Leben und Tod, die den fortlaufenden Kreislauf von Mensch und Natur prägt.
Der brasilianische Fotokünstler Caio Reisewitz stellt in seinen Fotocollagen den tropischen Regenwald der urbanen Entwicklung gegenüber und übt so Kritik an den Eingriffen in die Natur.
Mariele Neudecker stellt in ihrem Glaskasten mit Waldlandschaft das Bekannte dem Unbekannten gegenüber und ermöglicht unterschiedliche Perspektiven.
Von Helge Hommes, Künstler und Umweltaktivist, sind Bilder aus dem Zyklus Waldesruh zu sehen, die den natürlichen Köper des Baumes auf seine Form und Struktur in schwarz-weiß Bildern reduzieren. Eine kleine Plastik aus Naturmaterialien von der Duo-Partnerin Saxana
verweist auf gemeinsam Erlebtes im Hambacher Wald. Das italienische Künstlerduo FormaFantasma (Andrea Trimarchi & Simone Farresin) lässt in einer mit Lasertechnologie erzeugten Videoarbeit den Baum selbst sprechen.
Im Museum im Ritterhaus findet am Freitag, 15. November, und Samstag, 18. Januar 2025, jeweils 14 Uhr, die Führung „Der Wald – eine vielfältige Kulturlandschaft“ statt. Für Kinder wird das Thema im Kurs „Ökosystem Wald“ altersgerecht aufbereitet. Termine: Samstag, 2. November, und Samstag, 28. Dezember, jeweils 15 Uhr.
Städtische Galerie: Mi bis Fr, 1418 Uhr, Sa und So, 11-17 Uhr.
Jahreskonz er t
Leitung
Petra Rosenberg-Dufner
Musical- & Filmmusik vom Rock-Pop-Chor Unerhört und Solisten

Am Piano: Adrian Sieferle

SONNTAG 17.11.2024

18 UHR, SCHILLERSAAL
Zeller Str. 33 | 77652 Offenburg
Einlass ab 17.30 Uhr Kartenvorverkauf bei Schreibwarengeschäft
Weinstraße 23 , Zell-Weierbach
Pro Karte gehen 2 € an:
OFFENBURG
Mit freundlicher Unterstützung von HASU-Küchen!


Interview

INTERVIEW aw In loser Reihenfolge stellt das OFFENBLATT die am 9. Juni dieses Jahres erstmals in den Gemeinderat gewählten Mitglieder vor. Heute im Porträt: CDU-Stadtrat Matthias Zanger.
Herr Zanger, was hat Sie bewogen, für den Gemeinderat zu kandidieren?
Matthias Zanger: Durch meine ehrenamtliche Tätigkeit im Ortschaftsrat von Weier habe ich Interesse an der Kommunalpolitik gewonnen.
Hierdurch habe ich die Abläufe der Stadt Offenburg samt zugehöriger Ortschaften kennengelernt und freue mich, nun hierbei mitgestalten zu dürfen.
Was schätzen Sie an Offenburg und wo sehen Sie noch Optimierungsbedarf?
Zanger: Für mich ist Offenburg bereits eine sehr vielfältige Stadt. Optimierungsbedarf sehe ich insbesondere in der verlässlichen, qualitativ hochwertigen und bezahlbaren Kinderbetreuung.
Zudem ist mir die Verbesserung des vom Bürger empfundenen Sicherheitsgefühls ein besonderes Anliegen.

Foto: Wagner
Welche Themen liegen Ihnen besonders am Herzen?
„Gedenkstätten Südlicher Oberrhein“ sollen
KULTUR ges Der seit 2013 bestehende Verbund der Gedenkstätten Südlicher Oberrhein soll künftig als Verein fungieren, um damit die Voraussetzung für einen Zugriff auf Fördermittel zu schaffen. Die Vereinsgründung ist zum 1. Januar
Alle Deponien und Wertstoffhöfe des Ortenaukreises sind am Samstag nach Allerheiligen, 2. November 2024, geschlossen. Ab Montag, 4. November, öffnen die Anlagen wieder wie gewohnt.
Alle Öffnungszeiten sowie weitere Informationen zur Abfallwirtschaft gibt es unter www. abfallwirtschaft-ortenaukreis. de, in der AbfallApp Ortenaukreis und bei der Abfallberatung des Eigenbetriebs Abfallwirtschaft Ortenaukreis unter Telefon 0781/805-9600 und unter E-Mail an abfallberatung@ortenaukreis.de.
ges Die Stadt Hornberg soll als neue Gesellschafterin in die Musikschule Offenburg/Ortenau gGmbH aufgenommen werden. Damit wird die Offenburger Einrichtung um rund 130 Schüler*innen größer. Die Fixkosten steigen dadurch nicht.
2025 vorgesehen. Offenburg gehört mit dem Salmen zu den Gründungsmitgliedern des Verbunds. In ihm sind aktuell sieben Gedenkstätten in Südbaden zusammengeschlossen, die an die Verbrechen des Nationalsozialismus erinnern. Einstimmig
Notdienste
• 3.11. Apotheke Haaß Ortenberger Straße 13
• 4.11. Apotheke Zunsweier Am Kirchberg 2
• 5.11. Delta-Apotheke Schillerplatz
Zeller Straße 31
• 6.11. Marien-Apotheke
Hauptstraße 73 Schutterwald
• 7.11. Stadt-Apotheke Hauptstraße 43
• 8.11. Bartholomäus-Apotheke Hauptstraße 61 77799 Ortenberg
• 9.11. Schwarzwald-Apotheke Hauptstraße 19
• 10.11. Staufenberg-Apotheke Kirchplatz 2 77770 Durbach
6.11. Seniorenbeirat
15 Uhr, Tagespflege
Diakonie Sonne-Areal, Obertal 1a
Download unter ratsinfo.offenburg.de/buergerinfo/infobi.php. Tagesordnung auf Seite 14.
Zanger: Ein großes Anliegen ist für mich die Stärkung und Unterstützung der Vereine. Ohne deren zahlreiche ehrenamtliche Mitglieder würden viele Traditionen in Vergessenheit geraten und beliebte Veranstaltungen nicht mehr stattfinden können.
Welche Ziele haben Sie sich für Ihre Amtszeit gesetzt?
Zanger: Mein Ziel ist es, während meiner Amtszeit meinen Prinzipien treu zu bleiben. Hierbei ist es mir besonders wichtig, klare Entscheidungen zur treffen, die der Bürger versteht und sich darin wiedererkennt.
empfehlen die Mitglieder des Kulturausschusses dem Gemeinderat, der Vereinsgründung zuzustimmen. Die Verbundsmitglieder tagen alle zwei bis drei Monate und stehen in regelmäßigem Austausch. Neben Offenburg sind Emmendingen (Jüdisches Museum), Breisach (das Blaue Haus), Haslach (Gedenkstätte Vulkan), Kippenheim (ehemalige Synagoge) und Sulzburg (Synagoge) Mitglied. 2023 ist das im Aufbau befindliche NS-Dokumentationszentrum Freiburg dazugekommen.
Herausgeberin: Stadt Offenburg
Verantwortlich: Fabian Fallert
Redaktion: Gertrude Siefke (Leitung, ges), Telefon 0781/82-2572
Anja Walz (stv. Leitung, aw), Telefon 0781/82-2666
Christoph Lötsch (cl), Telefon 0781/82-2200
Marie-Christine Gabriel (mcg), Telefon 0781/82-2333
E-Mail: offenblatt@offenburg.de
Organisationseinheit Marketing und Kommunikation Hauptstraße 90, 77652 Offenburg
Veranstaltungskalender: offenblatt@offenburg.de
Austräger-Reklamation: Telefon 0781/9340-925
E-Mail: zustellung.offenblatt@der-guller.de www.offenblatt-zustellung.de
Verantwortlich für Anzeigen u. Beilagen: Christian Kaufeisen
Ansprechpartnerin: Maritta Herrmann, Telefon 0781/9340-162
E-Mail: werbung.offenblatt@der-guller.de
Mediadaten: www.der-guller.de/mediadaten-offenblatt
Herstellung: STADTANZEIGER Verlags-GmbH & Co. KG, Scheffelstraße 21, 77654 Offenburg
Vertrieb: STAZ + GULLER Vertriebsgesellschaft mbH, Luisenstraße 22, 7764 Offenburg
Druck: Reiff Zeitungsdruck GmbH, Marlener Straße 9, 77656 Offenburg
Redaktionsschluss: Montag, 17 Uhr
Erscheinungsweise: wöchentlich, jeweils sonntags, kostenlose Verteilung in alle Haushalte
Anzeigenschluss: Dienstag, 17 Uhr
Auflage: 30 500 www.offenblatt.de
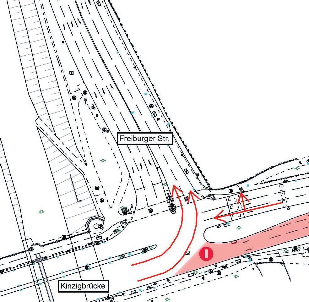
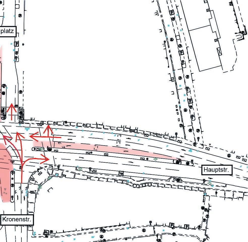
Hauptstraße stadteinwärts gesperrt/Umleitungen beachten/Fahrplanänderungen im Busverkehr
Die Fahrbahnsanierung in der Hauptstraße liegt im Zeitplan, für Mittwoch, 6. November, ist der Beginn des letzten Bauabschnitts geplant. Die Bauarbeiten während des dritten Abschnitts verlaufen auf der Hauptstraße stadteinwärts zwischen Freiburger Straße und Kronenstraße. Die Hauptstraße ist in dieser Fahrtrichtung für den Verkehr gesperrt. Von der Autobahn sowie von der B3/B33 kommend, sind die Innenstadt sowie die Tiefgarage Marktplatz über den Südring/ Ortenberger Straße und die Grabenallee erreichbar. Den Bahnhof und das Cityparkhaus in der Wasserstraße sind über die Freiburger Straße erreichbar.
Umbaubereich sind weiterhin befahr- bzw. begehbar. Bei baustellenbedingten Einschränkungen der Straßenquerungen sind entsprechende Umleitungen ausgeschildert.
Die Fahrbeziehungen im Bereich der Baustelle sind der unten abgebildeten Skizze zu entnehmen. Die Geh- und Radwege im

Für den Busverkehr ergeben sich umfangreiche Änderungen: So entfallen auf den Linien S2, S3 und S6 Richtung ZOB die Haltestellen Burda und Rathaus. Auf den Linien R2, R3 und R9 und 7141 entfallen in Richtung

ZOB die Haltestellen Burda, Rathaus und Stadtkirche. Auf der Linie S4 entfallen in Richtung Landratsamt die Haltestellen Wasserstraße und Burda. Die Gegenrichtungen sind jeweils nicht betroffen. Samstags gelten gesonderte Regelungen. Fahrgäste werden gebeten, sich unter www.stadtbus-offenburg. de zu informieren und die Aushänge an den Haltestellen zu beachten.

Die Fahrbeziehungen während des dritten und letzten Bauabschnitts: Die roten Pfeile geben jeweils die möglichen Fahrtrichtungen an. Rot eingefärbt sind gesperrte Bereiche.
,,Hand in Hand für seelische Gesundheit am Arbeitsplatz“: So lautet das diesjährige Motto zum internationalen Tag der seelischen Gesundheit. In Offenburg haben sich Einrichtungen, die mit psychisch erkrankten Menschen arbeiten, zum Gemeindepsychiatrischen Verbund (GPV) zusammen geschlossen und organisieren den diesjährigen Welttag. Psychische Gesundheit oder Krankheit mit Arbeit zu verbinden, ist hochaktuell. Immer
häufiger gehen Arbeitsunfähigkeitsbescheinigungen auf psychische Erkrankungen zurück. Erwerbstätigkeit kann Sinn, Zweck und Freude sein. Jedoch führen Bedingungen in der Arbeit wie Fachkräftemangel, Unterbesetzung, Überstunden, betriebsbedingte Kündigungen, Ärger oder Mobbing am Arbeitsplatz oft zu übermäßigem Stress und in der Folge zu psychischen Erkrankungen. Der Gemeindepsychiatrische Verbund Offenburg veranstaltet hierzu
am Donnerstag, 7. November, einen Vortrag mit der DiplomPsychologin Anke Precht zu ,,Selbstfürsorge bei der Arbeit“ im Stadtteil- und Familienzentrum Innenstadt im Bürgerpark. Beginn ist um 18 Uhr, der Eintritt ist frei. Die Referentin bietet einen „Crashkurs“, denn es geht um die Frage, wie wir es lernen können, auch in der Arbeit unsere Bedürfnisse zu klären und für deren Umsetzung Selbstfürsorge zu tragen. Hierzu werden
Weihnachtsdekoration selbst basteln
Die ehrenamtlich engagierte Stadtteilbewohnerin Ulrike Samperi lädt im Rahmen der Gemeinwesenarbeit zu weihnachtlichen Kreativ-Workshops im Stadtteilbüro (Hindenburgstraße 6) des Stadtteil- und Familienzentrums Oststadt ein. Die Workshops finden wochentags
jeweils von 19 bis 21.30 Uhr und samstags von 15 bis 17.30 Uhr statt. Es wird keine Kursgebühr erhoben. Zur bevorstehenden Adventszeit werden weihnachtliche Dekorationen und kleine Geschenke kreiert. Gestartet wird am Dienstag, 5. November Hierbei können verschiedene
Impulse und Anregungen gegeben, wie man im Arbeitsleben gesund bleiben kann. Einlass ist bereits um 17.30 Uhr. Die Einrichtungen des GPV stellen mit Plakaten und Infomaterial ihre Arbeit vor, es gibt einen Imbiss. Veranstalter: Diakonie – Tagesstätte Regenbogen, Reha Offenburg, AWO Ortenau, Landratsamt Ortenaukreis, Klinik an der Lindenhöhe, Pflege- und Betreuungsheim Ortenau Klinikum, Caritasverband Vordere Ortenau.
Gegenstände wie Schmuckanhänger, Christbaumschmuck, kleine Schalen für Teelichter aus lufttrocknender Modelliermasse angefertigt werden. Es wird gebeten, einen kleinen Teigroller und Cutter mitzubringen. Weiter geht es am Dienstag, 19. November. Hier werden Perlensterne kreiert. Mitzubringen sind Perlen. Zum Abschluss werden am Samstag, 30. November , Tischdekorationen aus Tannenzapfen, Moos und Steckschaum angefertigt. Anmeldeschluss spätestens drei Tage vor Kursbeginn unter EMail: sfz.oststadt@offenburg.de.
Oberbürgermeister
WIRTSCHAFT mcg Als klassisches Malergeschäft 1963 durch Manfred Hils gegründeter Handwerksbetrieb, umfasst das Unternehmen heute rund 30 Mitarbeitende und bietet für seine überwiegend regionale Kundschaft umfangreiche Full-Service-Dienstleistungen in den Bereichen Sanieren und Renovieren. Oberbürgermeister Marco Steffens war zum Firmenbesuch im Unteren Angel zu Gast.
Als 1993 die beiden Brüder Stefan und Manfred Hils den Betrieb von ihrem Vater übernahmen, hatten sie sich so aufgeteilt, dass Manfred den Innendienst übernahm und sein Bruder Stefan mehr auf den Baustellen unterwegs war. Doch 2012 änderte sich alles, denn durch schwere gesundheitliche Probleme Manfreds musste Stefan Hils dessen Bereich übernehmen.
Nachfolge bereits geregelt
Doch was wird aus dem Betrieb, wenn es an der Zeit ist, sich zur Ruhe zu setzen? Mit dieser Frage befassten sich die Brüder bereits vor einigen Jahren und entschieden im vergangenen Jahr, frühzeitig mit Aushängen an den Bundesfachschulen nach

einer geeigneten Person zu suchen. Dass Dave Baumgarten als erster Bewerber bereits die ideale Besetzung war, ist ein wahrer Glücksgriff.
Ursprünglich aus Berlin stammend, hatte der Farb- und Lackiertechniker und Malermeister im September dieses Jahres bereits seinen ersten Arbeitstag und wird nun sukzessive eingearbeitet. Geplant ist die schrittweise Übernahme der
Gesellschaftsanteile, bis 2030 soll Baumgarten dann die Geschäftsführung übernehmen. Auch wenn das Auftragsvolumen in den letzten Jahren wieder leicht abgenommen hat, ist Stefan Hils zufrieden. „Man wusste teilweise nicht mehr, wie wir die ganzen Baustellen bedienen sollen, so viele Aufträge hatten wir während der Pandemie.“ Dass es jetzt etwas weniger ist, sei natürlich auch
finanziell zu spüren, verschaffe aber mehr Zeit für die einzelnen Aufträge. Dabei geht die Tendenz zu Aufträgen für den Außenbereich. 55 Prozent der Aufträge kommen generell aus privaten Haushalten, den übrigen Anteil machen Industrie und öffentliche Hand aus. „Wie wirbt man für diesen Beruf?“, erkundigte sich der Oberbürgermeister. Dave Baumgarten, selbst erst 23 Jahre alt, weiß, dass „es ein toller Beruf ist, man sieht am Ende des Tages, was man geschafft hat“. Junge Leute für den Beruf zu begeistern, ist dabei das Wichtigste. Die Weichen hierfür werden mit Praktikant*innen von Offenburger Schulen und der Jugendberufshilfe oder von der Malerfachschule in Lahr gestellt.
Geschäftszweige
Pro Lehrjahr werden derzeit zwei Personen in den Bereichen Malerarbeiten, Fassadendämmung und Gerüstbau ausgebildet. Letzteres ist inzwischen ein eigener Geschäftszweig. „Wir haben in Offenburg zum Glück ein starkes Handwerk“, war Oberbürgermeister Steffens begeistert, wie breit das Unternehmen aufgestellt ist.
Beginn: 20.00 Uhr
Einen Workshop zum Thema „Jian Kang Dao – Achtsamkeit in der Bewegung“ bietet Johannes Sauter am Mittwoch, 6. November, von 17 bis 18.30 Uhr im Auditorium des Ortenau Klinikums Offenburg St. Josefsklinik an. Dr. Johannes Sauter ist niedergelassener Facharzt für Psychosomatische Medizin und Psychotherapie sowie ausgebildeter Tai-Chi-Lehrer. Während des Workshops üben die Teilnehmenden kleine Bewegungsformen aus dem Qi Gong und dem Tai-Chi. Diese sollen dabei helfen, die innere Mitte zu finden und zu stärken sowie achtsam zu entspannen. Der Workshop findet im Rahmen der Übungsreihe „Wege der Achtsamkeit – Formen der Meditation kennenlernen“ statt, die bereits seit 2011 sowohl für Mitarbeiterinnen und Mitarbeiter
des Ortenau Klinikums als auch für Patientinnen und Patienten sowie für die interessierte Öffentlichkeit angeboten wird. Schirmherrin des Achtsamkeitsangebotes ist Patientenfürsprecherin Ingrid Fuchs. „Ein Krankenhaus ist ein Ort der Begegnung zwischen Menschen, nämlich denen, die medizinische und pflegerische Hilfe suchen, und denen, die darin ausgebildet sind, eine professionelle Gesundheitsversorgung zu leisten. Es ist wünschenswert, dass beide Gruppen füreinander Wertschätzung aufbringen und pflegen – das braucht Raum zur Begegnung. Die Meditation ist dafür eine ideale Möglichkeit“, betont Fuchs. Die Teilnahme ist kostenlos. Hinweise zur finanziellen Unterstützung unter ortenau-klinikum-spenden.de.
Bundesweite Infotage/Klimaschutzmanagerin Bernadette Kurte stellt kommunalen Wärmeplan vor
KLIMASCHUTZ Vom 4. bis zum 10. November 2024 findet bundesweit die Woche der Wärmepumpe statt. Im Rahmen der Veranstaltungsreihe laden regionale Institutionen in mehr als 75 Landkreisen zu insgesamt etwa 300 Veranstaltungen ein. Auch in Offenburg finden Veranstaltungen statt.
Auf Einladung der Ortenauer Energieagentur findet am Freitag, 8. November, ab 16 Uhr ein Netzwerkabend „Querschnittsthema Wärmepumpe“ für Vertreterinnen und Vertreter aus Handwerk, Energieberatung, Architektur und Energieversorgung im Haus des Handwerks statt. Es wird um Anmeldung per E-Mail an info@ortenauerenergieagentur.de gebeten.
Vortragsprogramm
Interessierte Bürger*innen sind zum Wärmepumpen-Infotag, am Samstag, 9. November, zwischen 10 und 16 Uhr in die Oberrheinhalle der Messe Offenburg/Ortenau eingeladen. Hier finden sie ein abwechslungsreiches Vortragsprogramm sowie den Markt lokaler Energieexperten, darunter Handwerker, Hersteller*innen, Energieberatende, Energieversorger und kommunale Vertreter*innen. Es gibt zahlreiche Exponate und eine interaktive Ausstellung,

Mit diesem Plakat wird für die Veranstaltung geworben.
für die mehrere Führungen angeboten werden. Darüber hinaus bieten die Organisatoren zwei Besichtigungen an: Um 13 Uhr öffnet das Regionale

Der Advent naht
Ab sofort ist Roter Winzerglühwein von der WG Rammersweier im Bürgerbüro erhältlich. Verkaufspreis: 6 Euro pro Flasche (0,75 ml). Außerdem gibt es Pfannenwender und Kochlöffel für je 2 Euro.
Innovationszentrum für Energietechnik (RIZ Energie) der Hochschule Offenburg (Badstraße 22a, 77652 Offenburg) seine Pforten. Und um 14.45 Uhr
erklären die Mitarbeitenden der Wärmeversorgung Offenburg (WVO) das Wärmepumpenkraftwerk für das Fernwärmenetz in Offenburg bei Burda. Der Treffpunkt ist jeweils vor der Oberrheinhalle, die Teilnahme auf 60 Teilnehmende begrenzt.
Freier Eintritt
Der Eintritt zum Infotag ist frei, die Teilnahme an den Besichtigungen kostenlos. Weitere Informationen zum Programm sowie zur Anmeldung für den Netzwerkabend finden sich unter: www.wochederwaermepumpe.de und www.ortenauerenergieagentur.de.
Beitrag der Stadt
Auch die Stadt Offenburg beteiligt sich am 9. November am Wärmepumpeninfotag. Klimaschutzmanagerin Bernadette Kurte wird am Infostand der Stadt Offenburg die zentralen Ergebnisse aus der kommunalen Wärmeplanung vorstellen. Dazu gehört die Information darüber, welche Bereiche im Stadtgebiet für eine zentrale Versorgung mit Fernwärme geeignet sind, und in welchen Bereichen dezentrale Lösungen wie Wärmepumpen benötigt werden. Die Wärmeversorgung Offenburg (WVO) informiert über die Planungen beim Ausbau der Fernwärme.
Die ehrenamtlich tätige Stadtteilbewohnerin Anne Rietmann lädt im Rahmen der Gemeinwesenarbeit alle Stadtteilbewohner*innen zur Veranstaltung „Achtsames Mitteilen und Zuhören“ am Mittwoch, 6. November, von 19 bis 21 Uhr ins Stadtteil- und Familienzentrum Oststadt ein. Durch achtsames Mitteilen und Zuhören lernen Teilnehmende sich selbst und ihre Mitmenschen besser kennen, verstehen besser, wie sich Beziehungen vertiefen und erfahren echtes Mitgefühl in der Gruppe. Es wird Raum geboten, sich ehrlich mitzuteilen – unter Achtung der eigenen Grenzen – sowie offen, achtungsvoll und in einer wohlwollenden Haltung zuzuhören. Für Fragen
und Anmeldungen steht die Gemeinwesenarbeiterin Annabelle Jakob unter annabelle.jakob@offenburg.de zur Verfügung. Die Aktion findet im Rahmen des Projekts „Gesundheitsförderung in einer sorgenden Gemeinschaft (Caring Community)“ statt. Das Projekt „Gesundheitsförderung in einer sorgenden Gemeinschaft (Caring Community)“ wird finanziert über das Förderprogramm „Quartiersimpulse“ der Allianz für Beteiligung und des Ministeriums für Soziales, Gesundheit und Integration. Das Förderprogramm ist Teil der Landesstrategie „Quartier 2030 – Gemeinsam. Gestalten“ und wird finanziert aus Landesmitteln.
Jede Person kann plötzlich und unerwartet auf Hilfe angewiesen sein. Da stellen sich Fragen wie: Was ist zu tun bei einem Unfall? Wie sorge ich richtig vor? Was ist zu beachten, wenn ein längerer Klinikaufenthalt bevorsteht? Welche Regelungen und Verträge sind bei der eigenen Wohnung von Bedeutung? In einem Notfall- und Vorsorgeordner können wichtige persönliche Dokumente und alle relevanten Informationen gebündelt an einem Ort aufbewahrt werden. So sind alle Beteiligten, auch die Angehörigen, für den Fall der
Kurz notiert
Fälle gewappnet. Ulrike Eckert, Bürgerschaftliche Engagierte in der Abteilung Bürgerschaftliches Engagement, Ehrenamt und Beratung, wird den Notfall- und Vorsorgeordner am Dienstag, 12. November, um 16 Uhr in den Räumen der Abteilung Am Marktplatz 5 vorstellen und Fragen zu den Inhalten beantworten.
Die Teilnehmerzahl ist begrenzt, eine Anmeldung unter Telefon 0781/82-2222 oder per E-Mail an va.engagement@offenburg. de wünschenswert. Der Eintritt zur Veranstaltung ist frei.
Auf dem Weihnachtsmarkt besteht vom 21. November bis 23. Dezember die Möglichkeit, eigenes Kunsthandwerk (handgestrickte Schals, selbstgezogene Kerzen, kreative Holzschnitzereien und vieles mehr) zu verkaufen. Für eine kleine Tagespauschale kann eine Hütte gemietet werden. Weitere Infos unter E-Mail: stadtmarketing@offenburg.de oder Telefon 0781/82-2391.
„Ein
Windschläger Ortsvorsteher wird
ORTSTEILE mcg 25 Jahre war Ludwig Gütle im Ortschaftsrat, davon vier Jahre als Ortsvorsteher-Stellvertreter. Seit 2008 war er Ortsvorsteher. Dreimal wurde er wiedergewählt – in den Ortschaftsrat und als Ortsvorsteher. Zur Verabschiedung am Freitag, 8. November, 19 Uhr, mit Oberbürgermeister Marco Steffens sind nicht nur zahlreiche Wegbegleiterinnen und Wegbegleiter, sondern auch die Windschläger Bevölkerung in die Sporthalle eingeladen.
Ludwig Gütle ist gebürtiger Windschläger, was seine Verbundenheit zum Offenburger Ortsteil erklären lässt. Am 24. Oktober 1999 zog er erstmals in den Ortschaftsrat ein und wurde fünf Jahre später zweiter stellvertretender Ortsvorsteher. Als Heinz Kühne im Amt verstorben war, übernahm er kommissarisch und wurde am 15. Dezember 2008 dessen Nachfolger. Insgesamt drei Mal wurde Gütle als Ortsvorsteher wiedergewählt und gehörte durchgehend auch dem Ortschaftsrat an.

Vater von zehn Kindern



„Kein Mann der großen Worte, sondern der Tat“, beschreiben Weggefährten Ludwig Gütle . Wo Not am Mann war, hat der Vater von zehn Kindern angepackt. Um den Blumenschmuck an den Beeten im gesamten Ort hat er sich gemeinsam mit seiner Frau Gerlinde ebenso gekümmert, wie um den Friedhof. Fest zum Ortsbild gehört seine tägliche Runde – mit dem Fahrrad und roter Mütze auf dem Kopf natürlich.
Jeden Vormittag war Gütle zwischen 9 und 12 Uhr im Rathaus anzutreffen, ebenso zu den Ortsvorsteher-Sprechstunden. Jubilarsbesuche standen auf seiner Agenda, das Miteinander im Ort war ihm sehr wichtig. Wenn er im Dorf und darüber hinaus unterwegs war, dann mit dem Fahrrad, denn die Umwelt ist eines der Dinge, die ihm am Herzen liegt. Auch um Tiere kümmert er sich gerne, so war es nicht verwunderlich, dass er eine zahme Ente zu sich nahm, die sich verflogen und am örtlichen Angelsee niedergelassen hatte. Ein neues

Dreimal als Ortsvorsteher wiedergewählt:
Zuhause war im Garten der Familie schnell gefunden. Als Ingenieur für Verfahrenstechnik war Gütle sein ganzes Arbeitsleben bei einem Hersteller von Folien für die Pharmaindustrie beschäftigt. Der Beruf war es wohl, der mit sich brachte, dass Gütle detaillierte Zeichnungen beim örtlichen Schreiner vorlegte, wenn etwas im Dorf zu reparieren oder neu anzufertigen war.
900-Jahr-Feier
Eines der Highlights während der Amtszeit des inzwischen 77-Jährigen war die 900-JahrFeier im vergangenen Jahr: Vereine und Gruppierungen hatten ein zweitägiges Fest auf die Beine gestellt, mit Themenhöfen, buntem Bühnenprogramm und historischer Dekoration.
Projekte und Einrichtungen
Doch auch etliche Projekte tragen Gütles Handschrift: So hat er die Errichtung des „Jutzgässle“ vorangebracht, denn Windschläg ist der Geburtsort von Tiermaler Carl Jutz. Der Skaterpark neben dem Sportgelände ist ebenfalls während der Amtszeit Gütles entstanden, das Rathaus wurde saniert und der Handwerkerbrunnen wurde ebenso errichtet wie die Waldbibliothek bei der „Sauhütte“. Auch die Errichtung des Grillplatzes ist ihm zu verdanken. Der Fortbestand der Geschäfte im Ort, wie beispielsweise Bäckerei und Metzgerei und der Erhalt der Schule, waren Gütle ein wichtiges Anliegen. Sonntags findet man Gütle auf dem Sportgelände am Lohwald.
Ab sofort online abstimmen und gewinnen
Behindertensport:
1. Sener Oguz (BSG Offenburg), 2. Platz bei der Deutschen Seniorenmeisterschaft im Tischtennis (Einzel)
2. Ingo Bamberg (BSG), 1. Platz bei der Süddeutschen Seniorenmeisterschaft über 50 m Freistil
3. Harald Walter (BSG), 3. Platz bei der Deutschen Seniorenmeisterschaft im Tischtennis (Doppel)
4. Daniel Meißner (BSG), 1. Platz bei der Deutschen Seniorenmeisterschaft im Tischtennis (Doppel)
5. Ralf Meyer (BSG), 1. Platz bei der Deutschen Seniorenmeisterschaft im Tischtennis (Einzel)
6. Klaus Rauber (BSG), 3. Platz bei der Dt. Seniorenmeisterschaft im Tischtennis (Einzel)
Aktive:
1. Katharina Flaig (LG Offenburg), 1. Platz bei der Süddeutschen Junioren-Meisterschaft über 100 m Hürden
2. Joel Bauer (Kampfsportzentrum Henri Charlet), 1. Platz bei der Internationalen Deutschen Meisterschaft, Kickboxen
3. Lena Reder (BC Offenburg), 1. Platz bei der Südostdeutschen Meisterschaft im Badminton (Einzel & Doppel)
4. André Hänicke (1. Tauchclub Offenburg), 1. Platz bei der Deutschen Junioren-Meisterschaft im Unterwasserrugby
5. Malik Skupin-Alfa (LG Offenburg), 2. Platz bei der Dt.
Junioren-Meisterschaft über 800 m
6. Jonas Burger (BC Offenburg), 1. Platz Südostdt. Meisterschaft im Badminton (Doppel)
Jugend:
1. Lorena Frühn (LG Offenburg), Teilnahme an der Jugend-Weltmeisterschaft im Speerwurf
2. Piet Hoyer (LG Offenburg), 1. Platz bei der Deutschen Jugendmeisterschaft über 800 m
3. Hannah Schneider (RSV Offenburg), 4. Platz bei der Dt. Jugendmeisterschaft im 1er Kunstrad
4. Alina Gänshirt (Kampfsportzentrum Henri Charlet), 1. Platz bei der Deutschen Jugendmeisterschaft im Kickboxen
5. Lina Berger (BC Offenburg), 1. Platz bei den Südostdt. Meisterschaften, Badminton (Einzel)
6. Jele Stortz (DJK Offenburg), 2. Platz bei der Deutschen Meisterschaft, Tischtennis (Doppel) Mannschaft:
1. SSV Offenburg (4x200 m Staffel), 2. Platz bei der Baden-Württembergischen Meisterschaft
2. The School (2kup), Weltmeistertitel (Hip-Hop)
3. TSC Schwarz-Weiß (Sahsumy), 2. Platz beim World Dance Contest (Hip-Hop)
4. TV Griesheim (1. Herren), Meister Bezirksliga Süd
5. VC Offenburg (1. Damen), Meister Regionalliga Süd
6. VC Offenburg (1. Herren, Südbadischer Meister)

Ohne Anmeldung bietet der Pflegestützpunkt Ortenaukreis, Zentrale Offenburg, von 9 bis 12 Uhr Außensprechstunden an. Folgende Termine finden kommende Woche statt: Am Mittwoch, 6. November, im Ökumenischen Gemeindezentrum Weier , Johannesweg 11. Am Donnerstag, 7. November, in der Ortsverwaltung Zunsweier, Geroldsecker Straße 36. Am Freitag, 8. November, in der Ortsverwaltung Fessenbach ,
Winzerstraße 34. Der Pflegestützpunkt ist eine neutrale und kostenlose Beratungsstelle. Die Mitarbeiterinnen beraten und informieren Menschen mit einem Pflegebedarf und/oder deren Angehörige rund um die Themen Pflege und Versorgung. Bei Fragen: Pflegestützpunkt Ortenaukreis, Zentrale Offenburg, Telefon 0781/82-2337, -2531 oder -2593; psp-ortenaukreis@ offenburg.de oder www.pflegestuetzpunkt-ortenaukreis.de.
Wegen dringender Reparaturen an der Übergangskonstruktion der Kinzigbrücke wird die Kreisstraße K 5324 zwischen Bühl und Weier ab Montag, 11. November, voll gesperrt. Die Bauzeit wird voraussichtlich bis zum 20. November andauern. Die Umleitungsstrecke für
den Kraftverkehr führt über die Otto-Hahn-Brücke in Offenburg. Die Geh- und Radwege sind während der Bauzeit frei. Das Straßenbauamt des Ortenaukreises bittet Verkehrsteilnehmer*innen und betroffene Anlieger*innen um Verständnis für die Behinderungen.






Geben Sie Ihren Favoriten Ihre Stimme
Die Sportlerwahl Offenburg ist eine Publikums- und Expertenwahl. Wählen Sie in den nächsten Wochen Ihre Favoriten online in den Kategorien:
• Behindertensport
• Jugendsport
• Aktive • Mannschaft

Unter den Teilnehmenden werden 1 Weinprobe im städtischen Weingut Sankt Andreas und 2 × 2 Tagestickets für den Europa-Park sowie 3 × 2 kulturGUTSCHEINE für Veranstaltungen des Kulturbüros Offenburg verlost.











Jetzt einsteigen!

















































Mit Bus und Bahn zur Arbeit










Das Fahrkarten-Abo ab 42,40 € mtl. für alle Berufspendler im Ortenaukreis.
Mehr Informationen per Telefon unter 0781 / 966 789 910 oder im Web www.ortenaulinie.de/jobticket


3. bis 17. November 2024

Samstag, 9. November 2024
Marc Ducret, Liudas Mockunas, Samuel Blaser + Pierre Charial & Improdimesija Orchestra, 20.30 Uhr, Cité de la musique et de la danse, Straßburg
Mittwoch, 13. November 2024
Sophie Bernado 4et & Pilgrim, 20.30 Uhr, Fossé des Treize, Straßburg
Donnerstag, 14. November 2024
Joachim Kühn French Trio, 20.30 Uhr, Reithalle
Sonntag, 17. November 2024
Tuba Trio & Root 70, 17 Uhr, Reithalle
Mittwoch, 6. November 2024
Kulturpause – 15-minütige Kurzführung in der Mittagspause: Collage von Eva Mendelsson, 12.30 Uhr
Donnerstag, 7. November 2024 langer Donnerstag: geöffnet bis 22 Uhr
Narrenzeit im Südwesten: Führung zum langen Donnerstag in der Sonderausstellung „Narrenzeit. Kulturerbe Fastnacht im Wandel“, 19 Uhr
Donnerstag, 14. November 2024
Kulturpause – 15-minütige Kurzführung in der Mittagspause: Der 9. November 1938 im Salmen, 12.30 Uhr
Freitag, 15. November 2024
MuseumOnTour: Der Wald – eine vielfältige Kulturlandschaft: Wald-Naturführung im Zunsweierer Wald mit dem Schwarzwaldguide Wilfried Enderle, 14 Uhr, Treffpunkt:
Wanderparkplatz „Nächstenbach“ in Offenburg-Zunsweier
Sonntag, 3. November 2024
Die Dinge beim Namen nennen: Der Holocaust in der polnischen Volkskunst – Führung durch die Sonderausstellung, 11.15 Uhr
Freitag, 15. November 2024
Auf den Spuren des Hecker-Zugs: Eröffnung der neuen Sonderausstellung des Fotokünstlers Pio Rahner „Nachgang“, 17 Uhr
Sonntag, 3. November 2024
Offenburger Ensemble: Zum 150. Geburtstag von Arnold Schönberg, 11 Uhr, Reithalle
Samstag, 9. November 2024
Blues World, 21 Uhr, KiK (Kultur in der Kaserne), Weingartenstraße 34c
Samstag, 16. November 2024
Herbstkonzert, Gesangverein Eintracht Rammersweier, 19.30 Uhr, Festhalle Rammersweier
Samstag, 9. November 2024
Vater hat Lager: Gedenkveranstaltung zum 9. November – Theaterabend mit Gilla Cremer, 20 Uhr, Salmen, Lange Straße 52
Sonntag, 3. November 2024
Filmkunst: Das Flüstern der Felder, 17.30 Uhr, Forum Kino, Hauptstraße 111
Montag, 4. November 2024
Film trifft Literatur: Münter & Kandinsky, 17.30 + 20.30 Uhr, Forum Kino; in Kooperation mit der Buchhandlung Roth
Mittwoch, 6. November 2024
Kommunales Kino: Die Theorie von Allem, 20 Uhr, KiK (Kultur in der Kaserne)
Sonntag, 10. November 2024
Klassik: Alice im Wunderland, 16.30 Uhr, Forum Kino, Hauptstraße 111
Sonntag, 10.11.2024, 17.30 Uhr
Filmkunst: Rosalie, 17.30 Uhr, Forum Kino
Donnerstag, 14. November 2024
Seniorenkino: Heaven Can Wait – Wir leben jetzt, 16 Uhr, Forum Kino
Sonntag, 17. November 2024
Filmkunst: Treasure – Familie ist ein fremdes Land, 17.30 Uhr, Forum Kino
Dienstag, 5. November 2024
„teilchenzoo“: Lesung und Gespräch mit Carolin Callies und José F.A. Olivier, 19 Uhr; in Kooperation mit der Buchhandlung Akzente
Mittwoch, 6. November 2024
Ephraim Kishons Familiengeschichten anlässlich seines 100. Geburtstags im August mit Ursula Hass, 15.30 Uhr, Fessenbacher Buchlädele, Am Winzerkeller 5, UG

WOCHENMARKT
dienstags, 7.30 bis 13 Uhr samstags, 7.30 bis 13 Uhr
Freitag, 8. November 2024
Eine Reise nach Nepal von Alice Hölder, 20 Uhr, KiK, Weingartenstraße 34c
Mittwoch, 13. November 2024
Vom Seifensieder zum Fabrikanten. Emil Kern, Gründer der Offenburger Seifenfabrik: 19 Uhr, Museum im Ritterhaus; in Kooperation mit dem Historischen Verein Offenburg e.V.
Freitag, 8. November 2024
O(h) Wald – Vernissage, 19 Uhr, Städtische Galerie, Amand-Goegg-Straße 2
Sonntag, 10. November 2024
O(h) Wald – Künstlerinnengespräch mit Mariele Neudecker, 15 Uhr, Städtische Galerie, Amand-Goegg-Straße 2
bis 10. November 2024
Narrenzeit. Kulturerbe Fastnacht im Wandel: Wanderausstellung 100 Jahre VSAN, Museum im Ritterhaus
bis 8. Januar 2025
Daniel Schlindwein, Fotokunst: Wasserwelten, 9 – 17 Uhr, Foyer der geriatrischen Reha-Klinik, Louis-Pasteur-Straße 12
Donnerstag, 7. November 2024
Karneval der Tiere Spezial: Kurs für Kinder von 4 bis 5 Jahren als Begleitprogramm zur
Sonderausstellung „Narrenzeit“, 15 – 16.30 Uhr, Museum im Ritterhaus Närrische Rasseln aus Kornkorken und Klorollen: Bastelangebot zum langen Donnerstag für Kinder von 6 bis 12 Jahren, 17 –18 Uhr, Museum im Ritterhaus
Dienstag, 12. November 2024
Kellergeschichten: Unterirdische Stadtführung durch Offenburgs Keller für Kinder von 8 bis 12 Jahren, 15 – 16.30 Uhr, Treffpunkt: Museum im Ritterhaus
Sonntag, 17. November 2024
Auf Tour im Museum: Führung für Familien mit Kindern von 5 bis 9 Jahren durch das ganze Ritterhaus, 11 Uhr, Museum im Ritterhaus
Donnerstag, 7. + 14. November 2024
We Speak English. Deutsch-EnglischStammtisch. We meet every Thursday at 18h30 at Zeus Palast, Lange-Straße 43, Offenburg. Native speakers welcome. Please come directly or contact: hilda49@t-online. de
Mittwoch, 6. November 2024
Woche der offenen Chöre: Probe des Gesangvereins Eintracht Rammersweier, 19.30 Uhr, Probenraum Altes Feuerwehrhaus Rammersweier
Mittwoch, 13. November 2024
„Was mir Hoffnung macht...“: Gesprächsabend mit Musik und einem besonderen Gast, 19 Uhr, Galerie im Artforum, Okenstraße 57
Donnerstag, 14. November 2024
Feier zum 10. Jahrestag der Gründung der Flüchtlingshilfe Rebland, 18 Uhr, Stadtteilund Familienzentrum am Mühlbach
Samstag, 16. November 2024, 12 – 22 Uhr + Sonntag, 17. November 2024, 10 – 16 Uhr
Bücherflohmarkt zugunsten des Frauenhauses, KiK; Annahme von Büchern am Freitag, 15.11., ab 14 Uhr bis zirka 18 Uhr.
Sonntag, 17. November 2024
Kindersachen-Flohmarkt des Elternbeirats der Kita am Ölberg, 10 – 12 Uhr, Fidelissaal, Straßburger Straße 39
Das Repertoire des Glockenspiels besteht aus 140 Melodien. Im monatlichen Wechsel werden Volkslieder und traditionelle Lieder gespielt.
Im November erklingen folgende Weisen:
täglich, 11.50 Uhr Großer Gott Von guten Mächten
täglich, 17.50 Uhr Dona nobis pacem Lobe den Herren, den mächtigen König
samstags, 9.50 Uhr Ich geh' mit meiner Laterne Martin ist ein frommer Mann
Weitere Informationen: www.offenburg.de/glockenspiel
Weitere Informationen & Kartenvorverkauf: BürgerBüro, Am Fischmarkt 2, Tel. 0781-82 2000, buergerbuero@offenburg.de Anmeldungen direkt bei den Veranstaltern

Ritterstraße 10, 77652 Offenburg
Telefon 0781 82-2577, Di bis So 10 bis 17 Uhr 1. Do im Monat 10 bis 22 Uhr www.museum-offenburg.de
Weingartenstraße 34b, 77654 Offenburg Telefon 0781 9364-300, i-punkt Kulturforum: Mo bis Fr 9 bis 13 Uhr, Mo bis Do 14 bis 17 Uhr www.kunstschuleoffenburg.de

Amand-Goegg-Str. 2, 77654 Offenburg Telefon 0781 822 040, Mi bis Fr 14 bis 18 Uhr, Sa, So 11 bis 17 Uhr (Mo, Di geschlossen) www.galerie-offenburg.de

Weingartenstraße 32/34, 77654 Offenburg Telefon 0781 82-27 11, Di bis Fr 11 bis 19 Uhr, Sa 10 bis 13 Uhr (montags geschlossen) www.stadtbibliothek.offenburg.de

Weingartenstraße 34b, 77654 Offenburg Telefon 0781 93 64-100, i-punkt Kulturforum: Mo bis Fr 9 bis 13 Uhr, Mo bis Do 14 bis 17 Uhr www.musikschule-offenburg-ortenau.de

Lange Straße 52, 77652 Offenburg Telefon 0781 82-2701; Di, Do, Fr 14 bis 20 Uhr, Sa, So 11 bis 17 Uhr (Mo, Mi geschlossen) www.der-salmen.de

Weingartenstraße 34b, 77654 Offenburg Telefon 0781 93 64-200, i-punkt Kulturforum: Mo bis Fr 9 bis 13 Uhr, Mo bis Do 14 bis 17 Uhr www.vhs-offenburg.de

Schutterwälder Straße 3, 77656 Offenburg 0781 9226-0 www.messe-offenburg.de
Redaktionsschluss nächster Veranstaltungskalender: Freitag, 8. November 2024 Gilt für den Zeitraum 17.11. bis 1.12.2024
Redaktion OFFENBLATT, Telefon 0781 82-23 33
E-Mail: offenblatt@offenburg.de

Am Donnerstag, 7. November, um 15 Uhr lädt das Museum im Ritterhaus zu einem Kurs für Kinder von vier bis fünf Jahren ein. Löwe, Elefant – alle sind da, um den „Karneval der Tiere“ zu feiern. „Die Kinder besuchen unsere exotischen und heimischen Tiere im Museum und lernen deren Lebensweise und Eigenarten kennen“, informiert Kursleiterin Doris Schramm.
Wie bewegen sich Tiere und welche Laute geben sie von sich? Warum sind Tiere gestreift, gepunktet oder bunt? Im praktischen Teil basteln die Kinder Rasseln und besuchen die Sonderausstellung der schwäbischalemannischen Fasnacht. Die Kursgebühr beträgt vier Euro. Anmeldung bis Vortag, 14 Uhr, an museum@offenburg.de oder Telefon 0781/82-2577 ist erforderlich.


















Starte deine Karriere: e-werk-mittelbaden.de/ ausbildung






Offenburger Kantorei. Karten für die Konzerte der Offenburger Kantorei mit dem Oratorium „Paulus“ von Felix Mendelssohn Bartholdy am ersten AdventsWochenende sind ab Montag, 4. November, im Vorverkauf im Kundenzentrum der Sparkasse Offenburg in der Gustav-RéeAnlage (Hauptstraße 25) für 18 Euro (Schüler und Studenten 13 Euro) erhältlich. Die Konzerte finden am Samstag, 30. November, um 19 Uhr sowie am Sonntag, 1. Dezember, um 17 Uhr statt – jeweils in der Evangelischen Stadtkirche.
Herzschwäche. Über Herzschwäche informiert Philipp Diehl, Chefarzt des Departments Kardiologie, Pneumologie, Angiologie, Akutgeriatrie, Intensivmedizin und Thoraxchirurgie am Ortenau Klinikum in Offenburg und Lahr, am Dienstag, 5. November, um 19 Uhr im Ortenau Klinikum in Offenburg St. Josefsklinik, Auditorium. Herzschwäche betrifft viele Menschen und ist eine der häufigsten Erkrankungen in Deutschland. Patienten mit Herzschwäche sind teilweise in ihrem Alltag eingeschränkt und müssen häufiger ärztlich behandelt werden. Im Rahmen dieses Vortrages werden Ursachen und Folgen der Herzschwäche besprochen und unterschiedliche Behandlungsmöglichkeiten diskutiert. Die Teilnahme ist kostenlos.
Klinikaufenthalt. Was erwartet mich als Patientin oder Patient im Krankenhaus? Wie kann ich mich auf den Klinikaufenthalt vorbereiten? Was kann ich selbst tun, um die Therapie zu unterstützen? Diese und weitere Fragen beantwortet Martin Huber, Diplom-Pflegepädagoge an der Akademie für Pflege und Gesundheit am Dienstag, 5. November, um 19 Uhr im Josefssaal des Ortenau Klinikums St. Josefsklinik. Ein Krankenhausaufenthalt ist für viele Menschen eine Ausnahmesituation und mit vielen Ängsten und Sorgen verbunden. Ziel der Informationsveranstaltung ist es, Unsicherheiten, Sorgen und Ängste von Patienten und Angehörigen vor einem Krankenhausaufenthalt zu verringern und Vertrauen in Ärzte und Pflegefachpersonal aufzubauen. Martin Huber von www.klinikkompass.de wird Informationen und praktische Strategien vortragen. Kurz informiert
In
Albersbösch und Hildboltsweier tut sich was
Foto: privat

Formulieren, was wichtig ist.
Alle Verantwortlichen waren begeistert von der Resonanz und der Bereitschaft der Bewohnerschaft in Albersbösch und Hildboltsweier, an ihren Themen mitzuarbeiten. Anke Pilatscheck-Huber vom Forum West berichtet.
Ende Oktober hat im Stadtteilund Familienzentrum Albersbösch ein erstes öffentliches Themenforum stattgefunden.
Die Bürgervereinigungen Forum West für Albersbösch mit Kreuzschlag, die Einwohnergemeinschaft Hildboltsweier sowie das Stadtteil- und Familienzentrum Albersbösch hatten hierzu eingeladen. Begleitet wurde der Abend von den musikalischen Klängen des Duos Unikat. Mit Kaffeekreationen und alkoholfreien Cocktails der Familie Ludäscher wurde der Austausch gefördert.
Nach der Begrüßung durch Barbara Klement vom SFZ Albersbösch gab Michael Fiedler von der EWG Hildboltsweier einen Überblick über deren vielfältige Aktivitäten. Die EWG blickt bereits auf ein 70-jähriges Bestehen zurück.
Daraufhin wurde das neu gegründete Forum West vorgestellt. Dieses muss im Gegensatz zur EWG erst noch seine ersten Erfahrungen machen.
„Das Forum West besteht seit höchstens 70 Tagen“, meinte Stefan Borho bei der Vorstellung der ersten Schritte, welche die Bürgervereinigung jetzt gehen will. Zunächst möchte man sich auf das bürgerschaftliche Engagement und die Vertretung des Stadtteils gegenüber der Stadt Offenburg und anderen Institutionen konzentrieren. Es wird gehofft, dass noch viele Bürge*rinnen als Mitglieder das Forum West unterstützen. Um konkrete Themen in den Stadtteilen Albersbösch mit Kreuzschlag und Hildboltsweier ging es in der Arbeitsrunde. Die Bürgerinnen und Bürger brachten ihre Wünsche, ihre Kritik, aber auch das Besondere und Erhaltenswerte vor und hielten dies auf Karten fest. Die Punkte wurden in Themengruppen wie Verkehr, Stadtteilgestaltung, Naturschutz, Sport, Freizeit, das nachbarschaftliche Miteinander, Lärm und Müll eingeteilt.
Im Anschluss wurde gesammelt, wer sich bei den weiteren Bemühungen engagieren will. Das Forum West, die EWG und das SFZ Albersbösch planen, gemeinsam mit den Bürgerinnen und Bürgern die Themen anzugehen. Unter anderem finden die Vorstandssitzungen des Forums West immer öffentlich statt. Jede*r kann dazu kommen.
Weitere Infos: Forum West e.V. für Albersbösch mit Kreuzschlag, E-Mail: info@ forumwest.de, www.forumwest.de
Einwohnergemeinschaft Offenburg-Hildboltsweier e.V., E-Mail: ewg.kontakt@gmail.com, www. ewg-og-hildboltsweier.de; Stadtteil- und Familienzentrum Albersbösch, Telefon 0781/953511, E-Mail: sfz.albersboesch@offenburg.de.

Es gibt bereits viele Menschen, die sich in der Nordoststadt für andere engagieren und das Miteinander lebendig machen. Dennoch werden weiterhin in vielen Bereichen Menschen gesucht, die sich engagieren möchten. Helfende Hände werden gebraucht und die Einsatzmöglichkeiten (beispielsweise gemeinsames Backen, Basteln oder Fahrräder Reparieren) sind vielfältig. Aktuell werden im Rahmen der Ganztagsbetreuung des Stadtteil- und Familienzentrums Buntes Haus Leute gesucht, die sich ehrenamtlich engagieren wollen, überwiegend Lern- und Lesepat*innen, die Schüler*innen der Erich-Kästner-Realschule aus der 5. bis 7. Klasse beim Lesenüben unterstützen können. Auch werden Lesepat*innen
für weitere Altersgruppen gebraucht. Ebenfalls werden für die offene Begegnungsstätte im Quartier Nordoststadt Ehrenamtliche gesucht, welche sich für ältere Menschen engagieren möchten. Besondere Qualifikationen für das Ehrenamt sind nicht vorausgesetzt. Wichtig sind Spaß an der Arbeit mit Menschen, Verantwortungsbewusstsein und Zuverlässigkeit. Es besteht auch die Möglichkeit, sich die Tätigkeitsbereiche erst einmal anzusehen. Für weitere Informationen und bei Interesse: E-Mail: sfz. bunteshaus@offenburg.de oder Telefon 0781/94840104. Es lässt sich, davon sind die Verantwortlichen überzeugt, für jede oder jeden eine passende Tätigkeit finden, welche Spaß bereitet oder Erfüllung bringt.


Im Rahmen des Projekts „Gesundheitsförderung in einer sorgenden Gemeinschaft (Caring Community)“ lädt das Stadtteil- und Familienzentrum Oststadt, Grimmelshausenstraße 30, in Kooperation mit dem zivilgesellschaftlichen Partner des Projekts, dem Mehrgenerationen-Wohnprojekt-Offenburg (MWO) e.V., alle Stadtteilbewohner*innen zum Vortragsabend mit dem Titel „Gelebte nachbarschaftliche Wohnformen“ am Donnerstag, 7. November, ab 18.30 Uhr ein.
Der Vortragsabend besteht aus zwei Teilen. Im ersten Teil wird Cornelia Kricheldorff (Gerontologin) einen Vortrag mit dem Titel „Wohnpartnerschaften & Wohnpatenschaften“ halten und im zweiten Teil des Abends wird Yvonne Finck (MWO e.V.) einen Vortrag mit dem Titel
„Mehrgenerationen Wohnprojekt Offenburg“ präsentieren. Im Anschluss an die Vorträge wird es die Möglichkeit zum offenen Austausch und Diskussion geben.
Für Fragen steht die Gemeinwesenarbeiterin Annabelle Jakob unter annabelle.jakob@offenburg.de zur Verfügung.
Das Projekt „Gesundheitsförderung in einer sorgenden Gemeinschaft (Caring Community)“ wird finanziert über das Förderprogramm „Quartiersimpulse“ der Allianz für Beteiligung und des Ministeriums für Soziales, Gesundheit und Integration. Das Förderprogramm ist Teil der Landesstrategie „Quartier 2030 – Gemeinsam.Gestalten“ und wird finanziert aus Landesmitteln, die der Landtag BadenWürttemberg beschlossen hat.
Edelstücke frisch oder tiefgefroren, vakuumiert je Kilogramm, z. B.
Rehkeule ohne Knochen
Rehgulasch
Rehrücken
Wildschweinkeule ohne Knochen
Wildschweingulasch
Wildschweinrücken
Außerdem im Sortiment:
Grillspezialitäten, Wildfertiggerichte und Wildwurstspezialitäten.
Unser komplettes Angebot finden Sie unter: www.tbo-offenburg.de
Bestellen Sie jetzt vor für die Feiertage!
Online oder per E-Mail an wild@tbo-offenburg.de
Verkaufszeiten am Forststützpunkt jeden Donnerstag von 16:00 - 17:30 Uhr Im Gottswald 200 77656 Offenburg
Das Ortenau Klinikum wird auch für das Jahr 2025 bei besonders schwierigen Eingriffen und Behandlungen die gesetzlich geforderten Behandlungszahlen erfüllen. Mit einem Schreiben haben die Landesverbände der Krankenkassen und der Verband der Ersatzkassen dem Ortenau Klinikum kürzlich bestätigt, dass es bei diesen bestimmten Leistungen die sogenannten Mindestmengen erfüllt und über große Behandlungserfahrung und hohe ärztliche Expertise verfügt.
Die Mindestmengenregelung hat der Gesetzgeber 2004 zur Qualitätssicherung der stationären Krankenhausversorgung eingeführt. Seitdem müssen Krankenhäuser, für besonders komplexe Eingriffe jedes Jahr eine gesetzlich festgelegte Behandlungszahl erreichen, um die Leistung auch weiterhin anbieten zu können. Hinter der Idee der Mindestmenge steht das Ziel, besonders schwierige Eingriffe aus Gründen der Qualitätssicherung nur von solchen Kliniken durchführen zu lassen, deren Ärztinnen und Ärzte damit ausreichend Erfahrung haben.
Insgesamt unterliegen zehn besonders schwierige Eingriffe der Mindestmengenregelung. Die Kliniken sind verpflichtet, auf der Grundlage der jedes Jahr erreichten Behandlungszahlen für das Folgejahr, also aktuell
Mit reichlich Lesestoff eindecken können sich die Besucher*innen des Bücherflohmarktes von Frauen helfen Frauen Ortenau e.V.: Am Samstag, 16. und Sonntag, 17. November, findet der große Bücherflohmarkt im KiK auf dem Kulturforum, Weingartenstraße 34c, von Frauen helfen Frauen Ortenau e.V. statt. Wer gut erhaltene Bücher spenden möchte, kann diese am Freitag, 15. November, von 14 bis 18 Uhr im KiK im Kulturforum, Weingartenstraße 34c, abgeben. Zum Stöbern und Kaufen sind die Türen am Samstag, 16. November, von 12 bis 22 Uhr und am Sonntag, 17. November, von 10 bis 16 Uhr geöffnet. Das KiKCafe lädt bei Getränken, Snacks und großem Kuchenangebot zum Schmökern ein.
2025, eine Prognose über die erwarteten Behandlungszahlen abzugeben.
„Die Bestätigung unserer Prognose durch die Kostenträger ist Voraussetzung für die Erbringung dieser Leistungen und somit sehr wichtig für uns und unsere Patientinnen und Patienten“, freut sich Peter Kraemer, Medizinischer Vorstand des Ortenau Klinikums. „Denn damit können wir diese Leistungen auch weiterhin mit hoher Qualität im Ortenaukreis erbringen und die Patientinnen und Patienten müssen nicht an die großen universitären Zentren nach Freiburg oder Heidelberg verwiesen werden.“
Das Ortenau Klinikum biete sechs der insgesamt zehn komplexen Behandlungen an, für die Mindestmengen festgelegt sind. „Für alle sechs komplexen Behandlungen erfüllen wir die geforderten Fallzahlanforderungen“, so Kraemer. Transplantationen, die ebenfalls der Mindestmengenregelung unterliegen, werden im Ortenau Klinikum nicht durchgeführt. Für bestimmte komplexe Eingriffe hat der Gesetzgeber in den vergangenen Jahren die Mindestmengen angehoben. So stieg beispielsweise die Mindestmenge bei der Versorgung von Früh- und Reifgeborenen mit einem Aufnahmegewicht von unter 1250g von zunächst 14 auf mindestens 25 Behandlungen ab dem Jahr 2024.
Es bietet wichtige Überwinterungsquartiere für Insekten und fördert die Kompostproduktion durch Regenwürmer.

Bürgermeister Oliver Martini (5.v.r.) fuhr eigens nach Tübingen, um das Zertifikat für gelungenen Fuß- und Radverkehr entgegenzunehmen.
Fuß- und Radverkehr: Offenburg wird erstmals für das Erreichen der Qualitätsstufe ausgezeichnet
32 Kommunen in Baden-Württemberg, darunter Offenburg, wurden erstmals für das Erreichen der Qualitätsstufe für Fuß- und Radverkehr gewürdigt. Verkehrsminister Winfried Hermann überreichte zusammen mit Günter Riemer, dem Vorstandsvorsitzenden der AGFK-BW, in Tübingen die Urkunden – auch an Bürgermeister Oliver Martini.
Die Arbeitsgemeinschaft Fahrrad- und Fußverkehrsfreundlicher Kommunen in BadenWürttemberg e. V. (AGFK-BW) richtete ihren jährlichen AGFKTag diesmal in der Universitätsstadt Tübingen aus. Der öffentliche Teil der Fachtagung startete mit der Würdigung von 32 AGFKKommunen für das Erreichen der Qualitätsstufe für Fuß- und Radverkehr durch Verkehrsminister Winfried Hermann und Günter Riemer, dem Vorstandsvorsitzenden der AGFK-BW und Ersten Bürgermeister in Kirchheim unter Teck.
Für die Qualitätsstufe wurden die Kommunen im Vorfeld mittels eines fachlichen Erhebungsbogens befragt, der auf Leitbild und Meilensteine der AGFK-BW im Fuß- und
Radverkehr Bezug nimmt. Dabei begrüßt Verkehrsminister Winfried Hermann die hohen Maßstäbe, mit denen die Kommunen bei Planung und Umsetzung von Fuß- und Radverkehr vorgehen. Ein starkes Engagement zeichne die 32 Kommunen aus, die jetzt schon die auf insgesamt fünf Jahre angelegte Qualitätsstufe für den Fuß- und Radverkehr erreicht haben.
Aktive Mobilität seien so einfach, sicher und bequem, dass Fuß und Rad die erste Wahl seien, heißt es in der Pressemitteilung: „Gehen und Radfahren machen Spaß und sind im Alltag ganz selbstverständlich. Die Menschen sind gesünder und komfortabler unterwegs.“ Dies gewährleistet in besonderem Maße die soziale Teilhabe aller sowie den barrierefreien Zugang zu Mobilität. An dieser Vision arbeiten im AGFK-Netzwerk inzwischen 120 Landkreise, Städte und Gemeinden in Baden-Württemberg.
Mit der Qualitätsstufe für Fußund Radverkehr erhalten 32 AGFK-Kommunen zusätzlich zur Würdigung für ihre bereits erreichten Erfolge eine Leitlinie zu noch bestehenden
Herausforderungen bei der Konzeption, der Planung und dem Ausbau von Infrastruktur, aber auch zu strategischen und Marketingmaßnahmen für Fußund Radverkehr. Ziel bleibt für das Netzwerk die bundesweit einzigartige AGFK-Vision 2030, die für eine aktive Mobilität, für ein faires Miteinander aller im Straßenverkehr und eine konsequent verfolgte Vision ZeroStrategie steht.
Winfried Hermann, Minister für Verkehr des Landes BadenWürttemberg, betont: „Die heute ausgezeichneten Kommunen zeigen, wie attraktive, sichere und klimafreundliche Rad- und Fußwege in städtischen und ländlichen Regionen aussehen können. Sie setzen mit ihrem Engagement neue Maßstäbe in der Verkehrs- und Stadtplanung. Mit der Qualitätsstufe verpflichtet die AGFK ihre Mitgliedskommunen, schnell einen guten Standard in der Radund Fußverkehrsförderung zu erreichen.“
Günter Riemer, Vorstandsvorsitzender der AGFK-BW und Erster Bürgermeister von Kirchheim unter Teck, erklärt: „Die Mitgliedskommunen arbeiten
im Netzwerk engagiert daran, die Verkehrssicherheit in den Landkreisen, Städten und Gemeinden weiter zu verbessern. Mit der Qualitätsstufe für Fußund Radverkehr wollen wir in den AGFK-Kommunen wissen, wo wir stehen und gemeinsam noch mehr für eine bequeme und sichere Mobilität erreichen. Unser Ziel ist die Vision Zero, das heißt, keine Verkehrstoten und Schwerverletzte mehr im Straßenverkehr. Dafür braucht es eine fehlerverzeihende Infrastruktur und Verkehrskompetenz von klein auf.“
Vision Zero
Die AGFK-BW hat die Vision Zero in ihre AGFK-Vision 2030 aufgenommen. Für das kommunale Netzwerk ist damit ein fundamentaler Ansatz für grundsätzliche Sicherheit im Verkehr verbunden, der den öffentlichen Raum als Ort der Teilhabe mit Lebens- und Aufenthaltsqualität versteht. Dass es für eine konsequent verfolgte Vision Zero eine Kultur des Miteinanders im öffentlichen Raum, kompetente Verkehrsteilnehmende und eine fehlerverzeihende Verkehrsinfrastruktur braucht, macht der verkehrspolitische Dialog deutlich.
AMTLICHER TEIL



JETZT BEWERBEN: karriere.offenburg.de
ALS STELLVERTRETENDE ABTEILUNGSLEITUNG DER ABTEILUNG BAUMSCHAU/NATUR-/ UMWELTSCHUTZ FÜR UNSERE TECHNISCHEN BETRIEBE OFFENBURG
ALS ERZIEHER*INNEN UND PÄDAGOGISCHE FACHKRÄFTE FÜR UNSERE KINDERTAGESSTÄTTEN IN ORTSTEILEN BZW. STADTEIL- UND FAMILIENZENTREN
ALS ERZIEHER*INNEN ODER PÄDAGOGISCHE FACHKRÄFTE FÜR DIE GANZTAGSSCHULBETREUUNG NORD
ALS SCHULSEKRETÄR*IN FÜR DIE GRUND- UND WERKREALSCHULE OFFENBURG NORD IN WEIER SOWIE DIE GRUNDSCHULE GRIESHEIM
... MACHST DU DEN UNTERSCHIED FÜR DIE OFFENBURGERINNEN UND OFFENBURGER.
MACH JETZT DEN UNTERSCHIED FÜR DIE BÜRGER*INNEN IN OFFENBURG! BEWIRB DICH JETZT: karriere.offenburg.de
Vorhaben:
1. Sanierung der Bestandsanlage Spielplatz Margeritenstraße Garten- und Landschaftsbauarbeiten
Vergabenummer: SOG_BS-2024-0160
2. Sanierung der Bestandsanlage Spielplatz An der Tagmess Garten- und Landschaftsbauarbeiten
Vergabenummer: SOG_BS-2024-0161
Ausführungsfrist: 17.2.2025 bis Ende Mai 2025 Ende der Fertigstellungspflege: 17.10.2025
Angebotseröffnung: 25.11.2024
Vorhaben 1: 10 Uhr, Vorhaben 2: 10.30 Uhr Stadt Offenburg, Fachbereich Bauservice, Zentrale Vergabestelle, Wilhelmstraße 12, 77654 Offenburg Der vollständige Veröffentlichungstext erscheint auf www. vergabe24.de, offenburg.de/ausschreibungen, https://nectanet.de/ausschreibungen, https://www.submission.de,https:// subreport.de/ausschreibungen/auftraege-suchen/. Die Vergabeunterlagen können dort kostenfrei, uneingeschränkt und vollständig über einen Downloadlink heruntergeladen werden.
Die nächste Sitzung des Seniorenbeirates der Stadt Offenburg findet am Mittwoch, 6. November, um 15 Uhr in der Tagespflege Diakonie Sonne-Areal (Paul-Gerhardt-Werk e.V.) Obertal 1 a, 77654 Offenburg, statt.
Tagesordnung
1. Vorstellung und Besichtigung Tagespflege Diakonie SonneAreal, Paul-Gerhardt-Werk e.V.
2. Begrüßung und Vorstellung neue Leitung Bürgerschaftliches Engagement – Lydia Dantas Schindler
3. Aktuelle Stunde
4. Rückmeldung zu den Anfragen aus der Sitzung vom 5.6.2024
5. Bericht aus den Gremien
6. Verschiedenes
7. Verabschiedung und Dank an die ausscheidenden Seniorenbeirät*innen
ANZEIGE

Bestattungsinstitut
Telleffonisch T Tag und Naachht erreichhbarr, a auuch a an Sonn- u und F Feiertaagen. GmbH
Ebeerrtplatz z 1 19, 7 77654 Offfennburg g 0781 42322
Spiießgasse 1 1, 7 77694 K Kehhl 07851 2 2283
ehm B Bestattungsinstitut K Klein
www.offenblatt.de
Ihr A Annsprrechpaartner seit 1987
wwww..bbesstattungen-kiechle.de
Wirkaufen Wohnmobile +Wohnwagen 03944 -36160 www.wm-aw.de (Fa.)
Anzeigenverkauf
Maritta Herrmann werbung.offenblatt@der-guller.de
Telefon 0781 / 93 40 -162 www.offenblatt.de
Der Volkshochschule Offenburg e.V. ist das kommunale Weiterbildungszentrum in Offenburg und führt jährlich mit ca. 600 Kursleiter*innen und 90.000 Unterrichtseinheiten Kurse und Veranstaltungen durch. Die Volkshochschule Offenburg sichert als Teil des Vereins ein stetiges kulturelles Bildungsangebot in den Bereichen Allgemeinbildung, Kultur & Gestalten, Gesundheitsbildung, Sprachenschule, Arbeit & Beruf sowie Grundbildung.

Wir suchen zur Verstärkung unseres Teams zum nächstmöglichen Zeitpunkt eine*n
Mitarbeiter*in als Abteilungsleiter*in des Fachbereichs Fremdsprachen zwischen 60% und 80% (m/w/d)
Ihre Aufgabenbereiche sind
• Zukunftsorientierte Leitung und Weiterentwicklung des Sprachbereichs und wirtschaftliche
Steuerung der Abteilung
• Planung und Organisation von Sprachkursen und Prüfungen
(Präsenz, Online, Hybrid sowie Blended Learning)
• Akquise, Einstellung, Einsatzplanung und Steuerung von freiberuflichen Kursleitenden
• Pflege und Aufbau von Kooperationen, Netzwerkarbeit
• Leitung von weiteren Projekten bei einem Stellenumfang über 60%
Sie verfügen über
• Ein abgeschlossenes einschlägiges Hochschulstudium
• Hohe pädagogisch-didaktische Kompetenz
• Sehr gute Kommunikations- und Teamfähigkeiten
• Organisierte, strukturierte Arbeitsweise
• Arbeitserfahrung im Bildungsmanagement ist Ihr Vorteil
Wir bieten Ihnen
• Einen unbefristeten Arbeitsvertrag
• Bezahlung in TVöD Entgeltgruppe 10
• Innovatives, engagiertes Team mit flachen Strukturen
• Gut ausgestattetes, flexibles Arbeitsumfeld
• Ermäßigungen für die Kursangebote der Einrichtungen des gesamten VHS Offenburg e.V.
Bei Fragen zu der Stellenausschreibung kontaktieren Sie bitte Frau Dr. Constanze Armbrecht, Fachliche Leitung der VHS, E-Mail: constanze.armbrecht@vhs-offenburg.de, Tel.: 0781-9364240. Bitte senden Sie Ihre Unterlagen bis 17.11.2024 an bewerbungen@vhs-offenburg.de.
Wir freuen uns auf Sie!
Die Kunstschule Offenburg b erät und b egleitet S chulabsolvent* innen und junge Erwachsene b ei Ihrer Berufs- und Studienwahl in künstlerischen und gestalterischen Fächern. Individuelle Terminvereinbarungen unter: Tel. +49 781 93 64 300 oder mail@kunstschule -offenburg.de
Immobilien-Angebote Ihrer Sparkasse Offenburg/Ortenau
Eigentumswohnung

Offenburg-Hildboltsweier –
Das passt – hier greif ich zu!
ET W im 1 . OG e in es M FH m it 6 W E, ca. 9 3 m²
Wohnf l., 4 Zi., Loggia mit Blick ins Grüne, EBK im Kaufpreis enthalten, Garage u. Stellplatz, Bj 1968 te il we is e sa ni er t, Ö l- ZH E ne rg ie be da rf sa us we is , En de ne rg ie be da rf 1 10, 3 kW h/ (m ²a ), E ne rg ie ef fizi en zk la ss e D. Bez ug sf re i na ch A bs prac he !
Kaufpreis: 215.000 EUR
Eigentumswohnung

Friesenheim – Bezugsfreie MaisonetteWohnung mit Panoramablick!
Sehr gepfl ETW in einem MFH mit 9 WE, Bj. 1989. Großz., nach oben offener Wohn-/Essbereich, Küche, Kinderzi., Gäste-WC, Bad, Schlafzi. Zweite Ebene mit Galerie und Blick ins Wohnzi., 2 Zimmer, Bad. Gesamtwohnf l. ca. 127 m² Südbalkon mit wunderbarem Ausblick Stellplatz, Kellerraum. UG zur gem. Nutzung: Wasch-/Trockenraum, AR für Fahrräder. Fernwärme, Energieverbrauchsausweis, Endenergieverbrauch 89 kWh/(m²a), Energieeffizienzklasse C. Die Wohnung ist bezugsfrei! Kaufpreis: 349.000 EUR
ImmobilienZentrum Offenburg
Telefon 0781 200-2755
Eigentumswohnung

Offenburg –Stadtnah wohnen!
Gepf l. 4-Zi.-ETW im 2. OG mit ca. 94 m² Wohnf l., MFH mit 4 WE in Bahnhofsnähe, Bj 1956. Küche mi t AR , mo de rn is ie rtes B ad ez im me r mi t Ba dewa nne , Ba lkon , zu s. M an sa rd en zi mme r im D G, Keller- u Speicherraum, Garage Öl-ZH, Energiebe da rf sa us we is , En de ne rg ie be da rf 1 78, 6 kW h/ (m²a), Energieeffizienzklasse F. Bezugsfrei!
Kaufpreis: 225.000 EUR
Einfamilienhaus

Hohberg, Hofweier – Bungalow mit großem Garten und vielen Möglichkeiten!
Ch ar ma nter B ung al ow a ls E FH , Bj 1956. 9 03 m² Grds t. m it s ch ön em G ar te n. C a. 9 4 m² Woh nf l. , ve rtei lt a uf 4 Z im me r, K üc he , Ba d, s ep . WC , groß z. Ter ra ss e. Vol l unter ke lle rt , Do ppe l- Ca rpo rt , se pa ra te s We rk st at tg eb äu de Öl -Z H, E ne rgi eb ed ar fs au sw ei s, E nd en ergi eb ed ar f 437, 2 kW h/ (m ²a ), E ne rg ie ef fi zi en zk la ss e H. Bez ug sf re i ab 0 1. 0 1 .2 025! Kaufpreis: 380.000 EUR
immobilien@sparkasse-offenburg.de sparkasse-offenburg.de/immobilien
Eigentumswohnung

Offenburg –Gemütliche Altbau-Wohnung mit Charme! Groß zü gi ge u nd ren ov ie rte 3- Zi .- ET W im EG mi t ca 86 m² Woh nf l. , du rc hd ac htes R au mkon ze pt , Tageslichtbad, hohe Zimmerdecken mit Stuckverzierungen und Parkettböden Kellerraum, Bj. 1910, Gas-ZH, Energieverbrauchsausweis, Endenergieverbrauch 105 kWh/(m²a), Energieeffizienzklasse D. Bezugsfrei. Das Gebäude steht unter Denkmalschutz. Kaufpreis: 230.000 EUR
Einfamilienhaus

Offenburg, Zell-Weierbach –Wohnen in Bestlage!
Sonnig und ruhig gelegen, sehr gepf legt mit einem klassischen Erscheinungsbild im Baustil der 70er Jahre – so präsentiert sich diese Liegenschaft in bester Lage von Offenburg, Zell-Weierbach EFH mit ELW, ca. 316 m² Wohnf l., 1078 m² Grdst., 7 Zi., 3 Bäder, 2 Küchen, Wellness in der eigenen Schwimmhalle, Süd-Terrassen. Garage u. Pkw-Stellplätze. Bj. 1970, Öl-ZH, Energiebedarfsausweis, Endenergiebedarf 212,8 kWh/(m²a), Energieeffizienzklasse G. Bezugsfrei. Kaufpreis: 895.000 EUR
Wir vermitteln, bewerten, fi nanzieren und versichern. In Ihrem ImmobilienZentrum oder auf s-immobilien.de