





![]()














February 25, 2025
VDMC’s Senior Program Manager for Technology Insertion, Jessica Galassie, attended the NSRP National Shipbuilding Research Program All Panel Meeting in Charleston, SC. This meeting is a biennial event that brings together all nine panels of the National Shipbuilding Research Program (NSRP) to share results of recently concluded and ongoing R&D projects; discuss technology gaps in the areas of ship design, construction, and modernization; and to share best practices in the shipbuilding and support enterprise.
It was also a chance to collaborate in strengthening our nation’s defense capabilities and solving problems in the Maritime Industry.
CME’s Executive Director
Dr Thomas Irwin was also in attendance to network and support groundbreaking NSRP panels and projects that drive innovation, improve efficiency, and strengthen the shipbuilding enterprise.






Conference: Human Computer Interaction International, June 22-27, 2025 in Gothenburg, Sweden
Title: Macrocognition in Simulation Based Training: A Practical Application of Learning Engineering in a Complex Training Environment
Macrocognition encompasses a set of higher-order cognitive functions, including situation awareness, decision making, problem-solving, and teamwork coordination, which are crucial in dynamic work environments (Klein, 2008; Hoffman & Militello, 2012). In maritime pipefitting, these functions are necessary to navigate spatial challenges, interpret intricate blueprints, and execute precise measurements. However, traditional training methods often lack an emphasis on these skills, instead focusing on rote memorization and procedural knowledge. This paper utilizes a learning engineering approach, as defined by the Learning Engineering Toolkit (Goodell & Kolodner, 2023; Kessler et al , 2022; Dede et al., 2021), to develop a technology-driven solution that integrates macrocognitive principles into training design across multidisciplinary domains, aiming to improve trainee competencies in cognitively demanding tasks The concept of macrocognition in cognitive science and human factors research has long been associated with the study of expertise in complex domains (Cacciabue, 2004). This practical application draws on macrocognitive models to inform the design of simulation-based learning environments, aligning with research that emphasizes the need to integrate cognitive science in instructional system design (Fiore et al , 2010) By incorporating technologyenhanced learning tools, this approach targets the cognitive and metacognitive processes essential for learning complex tasks in skilled trades.
Conference: International Society of the Learning Sciences, June 10-13, 2025 in Helsinki, Finland
Title: A Collaborative Learning Framework for Post-IVR Environments
Co-Author: Dr Tivika Stephenson
This paper examines the integration of Computer-Supported Collaborative Learning (CSCL) and Knowledge Building Theory (KBT) in post-Immersive Virtual Reality (IVR) contexts to propose a conceptual framework for post-IVR collaborative learning. While IVR offers rich interaction data and collaborative opportunities, current post-IVR activities often replicate traditional teacher-led methods, failing to utilize these affordances for deeper knowledge creation and collaborative learning We synthesized 18 papers in a robust meta-analysis focusing on post-IVR processes and supports. Findings highlight underutilized opportunities to integrate during-IVR data such as behavioral analytics and interaction patterns into post-IVR tasks to enhance problem-solving, reflection, and collaborative engagement The proposed framework emphasizes scaffolds, tools, and feedback to bridge IVR experiences with meaningful post-activity learning and future work in this area.

On 2/19, the SEAlab hosted the Defense Innovation Unit (DIU), and U.S. Naval Information Forces (NAVIFOR) for the DIU Propel Maritime Digital Defense Demonstration Event. The event showcased ten early-stage cohort teams as they presented cutting-edge technologies designed to enhance and secure industrial control systems (ICS). Their innovations aim to fortify both commercial and DoD critical infrastructure (CI), ensuring resilience against cyber incidents with minimal operational impact.


Special thanks to VADM Michael Vernazza, Commander Naval Information Forces LCDR Madie Hansen, and NAVIFOR Public Affairs Officer Robert Fluegel for attending the event.

Team members showcased the Cybersecurity Center for Offshore Wind Energy project and demonstrated electromagnetic emissions off microcontrollers to show communication between controllers.

CSICS Attends Energy Tech Conference March 6, 2025
CenterforSecureandIntelligent CriticalSystems(CSICS)team membersattendedtheEnergy Tech2025attheScience MuseumofVirginiainRichmond.




Dr. Eric Weisel Featured in CoVaBIZ Magazine’s 150+ Most Influential People in Coastal Virginia
March 11, 2025

Senior Associate Vice President for Applied Research, Dr. Eric Weisel, was featured in CoVaBIZ Magazine's 150+ Most Influential People in Coastal Virginia. This feature highlights “not only deserving corporate executives and organizational leaders but also individuals whose quiet, consistent contributions have made a lasting impact.”
Dr. Weisel’s leadership and extensive experience in modeling and simulation have been instrumental in advancing applied research initiatives at ODU. Through his work, he has fostered collaboration between academia, industry, and government, driving impactful solutions for real-world challenges Thank you to CoVaBIZ for including Dr Weisel among those whose contributions to our area have been revolutionary.


March 15, 2025
Over 75 high school students from around Hampton Roads joined the VDMC team on Saturday, March 15, for the Second Annual Digital Ship Challenge. The 21 student teams, led by their teachers and mentored by local maritime industry representatives, presented their vessels that they have been working on this past year for this year’s challenge and underwent a series of tests throughout the day to evaluate their performance and success.
For this year's Digital Ship challenge, student teams were contracted by a leading maritime logistics company to design and construct a support vessel that can maintain stability in open ocean conditions at a sea state of 3. Teams had to take into consideration things like wind, stability at sea, waves, working conditions, etc. as they built their vessels. Throughout the day, teams were judged on multiple factors, like creativity and innovation of design and quality of construction.
There was also a Community Showcase in the SEALab where local companies met with the students to provide them with information on careers in the maritime industry, as well as educational opportunities.







Every team participating in the Digital Ship Challenge received a certificate of participation and the top three teams received medals, a trophy, and an Amazon gift card. The first place winner was Team Wet Socks from Advanced Technology Center in Virginia Beach
Second place winner was Team IED #2 from Grassfield STEM Academy in Chesapeake. Third place winner was Team Catalypso, also from Advanced Technology Center. Congrats to all the winners!



VISA Lead Project Scientist Ahmet Saglam Attends NVIDIA GTC AI Conference March 20, 2025
Dr Ahmet Saglam presented the paper, “GPU-Powered Neural Depth and Point Cloud Filtering for Efficient Corridor Detection in Robotics,” which he worked on with Dr. Yiannis Papelis, at the NVIDIA GTC AI Conference in San Jose, CA.
While at the conference, Dr. Saglam also checked out the seminars, explored the exhibitions and enjoyed watching the keynote speaker - NVIDIA CEO Jensen Huang
This conference has over 1000 sessions, 400+ exhibits, technical hands-on training, and unique networking events It’s a great place to explore real-world examples of AI and its benefits.


Virginia Ship Repair Association Digital Innovation Challenge
March 20, 2025



VDMC team members attended the Virginia Ship Repair Association’s 19th Annual Ship Repair Digital Innovation Challenge at Nauticus.
Middle schools from across Hampton Roads competed against one another to show off creative ideas to better the ship repair and building industries
Every person in attendance was so impressed with the students because they thought outside of the box and came up with improvements that could actually be used in the maritime industry!
VDMC loved being part of the competition - as a mentor, a score keeper, and having an exhibit table. Additionally, Jessica Galassie was the technical advisor for the second place team and Joseph Kosteczko was the technical advisor for the third place team. These talented and innovative students are the future of the maritime workforce!




ICAR Hampton Roads Sea Level Rise/Flooding Adaptation Forum
March 21, 2025
ICAR, in collaboration with Virginia Sea Grant and the Hampton Roads Planning District Commission, hosted the Hampton Roads Sea Level Rise/Flooding Adaptation Forum focused on addressing coastal squeeze The event featured a series of insightful presentations and interactive discussions on key topics, including criteria for evaluating and selecting effective responses to coastal squeeze, as well as potential alternatives and policy solutions to mitigate its impacts.

The forum provided a valuable platform for knowledge exchange, fostering collaboration among researchers and practitioners committed to advancing resilient coastal management in the Hampton Roads region.







OERI team members participated in the 2025 Great Suffolk Cleanup! This is a two-day, citywide event where volunteers from all over Suffolk can help preserve the beauty of the community by removing litter.
OERI volunteers collected almost 320 pounds from around our building and surrounding areas! This included trash, an old blanket, and even old tires!
This was a rewarding opportunity for our team to contribute directly to the health and appearance of our community, and we were proud to be able to lend a hand in keeping Suffolk clean and beautiful.
MARCH 25, 2025

VDMC was an exhibitor and presented a banner to the 2025 Digital Ship Challenge winnersTeam Wet Socks from Advanced Technology Center.


CSICS Research Assistant Professor, Dr. Safdar Bouk, was part of the Technology Innovation in Offshore Wind panel.

VMASC Chief Scientist Dr. Michael Nelson held another “Thirsty Thursday” event where he discussed external letters and why they matter. He gave lots of great advice on steps faculty can take on gaining quality external letters.


Additionally, Dr. Ginger Watson talked about Faculty Senate elections.
March 10, 2025
odu.edu
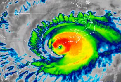
In 2018, Hurricane Florence was headed toward Hampton Roads before it changed course and made landfall in Wilmington, North Carolina.
This close encounter with a major storm prompted Old Dominion University researchers to ask the question: What would the economic impact be if a Category 3 hurricane hit the region?
The resulting study estimates the cost would be $15 6 billion in direct damages, which is equal to 10% of the 2022 regional gross domestic product (GDP), and a temporary loss of more than 76,000 jobs.
The study was funded by the Commonwealth Center for Recurrent Flooding Resiliency (CCRFR) and ODU’s Institute for Coastal Adaptation and Resilience (ICAR).
Yin-Hsuen Chen, geospatial data scientist (GIS), George McLeod, director of the Center for Geospatial Science, Education and Analytics and Bob McNab, professor of economics, authored the report.

“Costs of such magnitude would likely have a devastating impact on the region, regardless of the resiliency of the workforce to economic shocks.”
ODU Study: Major Hurricane Could Cost Hampton Roads over $15 Billion
March 17, 2025
wydaily.com

NORFOLK The Hampton Roads region’s near miss with Hurricane Florence in 2018 prompted Old Dominion University researchers to look at the economic impact a Category 3 hurricane would have on the region.
According to the ODU News Center, the resulting study estimates that cost would be $15.6 billion, equal to 10% of the 2022 regional gross domestic product, with a temporary loss of more than 76,000 jobs.

The study was funded by the Commonwealth Center for Recurrent Flooding Resiliency and ODU’s Institute for Coastal Adaptation and Resilience. To calculate the physical damage of the hypothetical storm, researchers used Hazus a standardized set of tools and data from the Federal Emergency Management Agency to build a computer model of Hurricane Florence passing over Hampton Roads.
March 25, 2025 odu.edu
Yiannis Papelis, Ph.D., chief technology officer for the Office of Enterprise Research and Innovation (OERI) and executive director of the Virginia Institute for Spaceflight & Autonomy was appointed to the Aerospace Advisory Board by Governor Glenn Youngkin. He has been with OERI and the Virginia Modeling, Analysis & Simulation Center for more than 15 years, starting as a research associate professor.
He quickly built a successful research program in the areas of behavior modeling, autonomous agent behaviors in agent-based simulation and immersive virtual environments with sponsors including the National Institute of Aerospace, NASA, U.S. Navy and U.S. Joint Forces Command.
More HERE.



Passionate about bringing data and innovation to coastal resilience action?
Come work with ICAR!
We have TWO openings:
Assistant Director for Engagement (Administrative and Professional Faculty): https://jobs.odu.edu/postings/22953
Research Assistant or Associate Professor in Resilience Engineering for the Institute for Coastal Adaptation and Resilience (Non-Tenure Track Research Faculty): https://jobs.odu.edu/postings/22855
Please see postings for minimum and preferred qualifications, application instructions, and contact information. Please note that ODU cannot accept applications submitted outside of these links. Pass these links along to anyone who may be interested in either of these positions.

OERI is participating in the Big Blue 5K on April 26, 2025.
To be part of the OERI team, sign up here: https://haku.ly/3f37175dc2 Be sure to take photos!
ODU’s Spring Commencement is just around the corner!
If you have a student that is graduating, please let us know! We would love to create a feature story about their time at OERI and future plans.



