2479 SE 62nd Ln

Page 1


SCAN HERE

2479SE62NDLN HILLSBORO,OR97123

OWNER NAME: KarenSabatine

VESTING:

MAILING ADDRESS: 2479SE62ndLnHillsboroOR97123

OWNER STATUS: Owneroccupied

COUNTY: Washington CENSUS / BLOCK: 032412/3009

TSP - RNG - SEC: 01S-02W-10

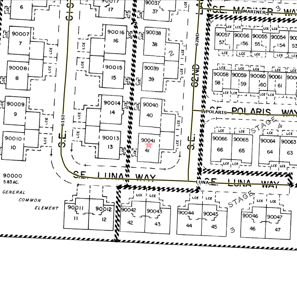
LOT / BLOCK: 41/

HOUSING TRACT: MoorcroftStationCondo

ALT PARCEL #: R2058109

SCHOOL DISTRICT: Hillsboro

MUNICIPALITY: Hillsboro PARCEL #: R2058109

DATE: 03/16/2016

DATE: 08/03/1998 SALE PRICE: $230,000 SALE PRICE: $134,000

#: 2016019865

84548

GROSS AREA: 1,212

LIVING AREA:

ABOVE GRADE:

BEDROOMS: 3

BATHROOMS: 2

FIREPLACE: 1

YEAR BUILT: 1996

PARKING TYPE: AttachedGarage

UNITS:

BASEMENT:

GARAGE AREA: 500

ROOF SHAPE:

FOUNDATION: 01

ROOF MATERIAL: Metal

CONSTRUCTIONS: Wood

HEAT TYPE: Yes

COOLING TYPE:

EXTERIOR WALL: Wood

ROOMS:

QUALITY:

INTERIOR WALL:

PORCH TYPE:

PATIO TYPE:

AIR COND: Y

FIXTURES: FLOOR:

EQUIPMENT:

STORIES: POOL:

CONDITION: Average

LAND USE: Condominiums

ZONING: ResidentialHighDensity

COUNTY USE: ResidenceSingleFamily

LOT ACRES: 0.26

STATE USE:

LOT SQ FT: 11,326

LEN / WID:

ASSD YEAR: 2024

ASSD VALUE: $191,150

TAXABLE VAL:

TAX YEAR: 2024

LAND VALUE: MKT VALUE: $374,980

TAX AREA: 29.13

IMP VALUE: $374,980

EXEMPTIONS:

PROPERTY TAX: $3,218.17

IMPROVED %: 100 DISTRICT:

DEMOGRAPHICS

PROPERTY ADDRESS

ASSESSORMAP

STREET

AERIALMAP

CITY Y BOUNDARY Y MAP P

SCHOOLS

ELEMENTARYSCHOOLS

NAME: RosedaleElementarySchool

ADDRESS: 3901Se67ThAve

CITY, STATE, ZIP: Beaverton,OR97078

PHONE: (503)844-1200

GRADES: Kindergarten-6thGrade

NAME: LaddAcresElementarySchool

ADDRESS: 2425SwCorneliusPassRd

CITY, STATE, ZIP: Hillsboro,OR97123

PHONE: (503)844-1300

CHARTER SCHOOL: No

CHARTER SCHOOL: No

GRADES: Kindergarten-6thGrade TITLE ONE: 2-No

MIDDLESCHOOLS

NAME: SouthMeadowsMiddleSchool

ADDRESS: 4960SeDavisRoad

CITY, STATE, ZIP: Hillsboro,OR97123

PHONE: (503)844-1220

GRADES: 7thGrade-8thGrade

NAME: RABrownMiddleSchool

ADDRESS: 1505SwCorneliusPassRd

CITY, STATE, ZIP: Hillsboro,OR97123

PHONE: (503)844-1070

GRADES: 7thGrade-8thGrade

HIGHSCHOOLS

NAME: CenturyHighSchool

ADDRESS: 2000SeCenturyBlvd

CITY, STATE, ZIP: Hillsboro,OR97123

PHONE: (503)844-1800

GRADES: 9thGrade-12thGrade

NAME: HillsboroHighSchool

ADDRESS: 3285SeRoodBridgeRd

CITY, STATE, ZIP: Hillsboro,OR97123

PHONE: (503)844-1980

GRADES: 9thGrade-12thGrade

CHARTER SCHOOL: No

12-City:Mid-size

0.89mile(s)

ONE: 2-No

CHARTER SCHOOL: No

0.99mile(s)

CHARTER SCHOOL: No

2-No

CHARTER SCHOOL: No

12-City:Mid-size

1.96mile(s)

2-No

Students We Serve

OREGON AT-A-GLANCE DISTRICT PROFILE

Hillsboro SD 1J

SUPERINTENDENT:Travis Reiman |3083 NE 49th Pl, Hillsboro 97124 |503-844-1500

Academic Success

2023-24

Students

Grade 3 ENGLISH LANGUAGE ARTS

Students

Grade 8 MATHEMATICS

High School Success

Students earning one-quarter of graduation credits in their 9th grade year.

ON-TIME GRADUATION

Students

Students

District Goals

HSD's goal and promise is to know, value, and empower every student to achieve their dreams. We will do this by: fostering a positive, supportive, and inclusive school and classroom culture that enables learning; providing learning experiences with clear purpose, engagement, and assessment to encourage students' active participation and to provide them with an opportunity to demonstrate their knowledge and skills; connecting each student with supports and enrichments; and ensuring that all students graduate with career, college-readiness, and life skills.

State Goals

The Oregon Department of Education is collaborating with school districts and communities across the state to achieve a 90% on-time graduation rate by 2027. Grounded in the pillars of Academic Excellence, Belonging and Wellness, and Reimagined Accountability, ODE prioritizes evidence-based practices to boost early literacy, attendance, and student engagement. We are committed to closing opportunity and achievement gaps for marginalized students and securing long-term success for all of Oregon’s learners by investing in culturally responsive practices, fostering inclusive environments and always driving for continuous improvement.

Our Staff (rounded FTE)

OREGON AT-A-GLANCE DISTRICT PROFILE

Hillsboro SD 1J

Outcomes

2023-24

63 Administrators

1,014 Teachers

442 Educational assistants

70 Counselors

10 Social Workers

TO GRADUATE

1 Licensed Librarians

13 Psychologists

Students We Serve

OREGON AT-A-GLANCE SCHOOL PROFILE

Ladd Acres Elementary School

PRINCIPAL:Jennifer Robbins |GRADES:K-6 |2425 SW Cornelius Pass Rd, Hillsboro 97123 |503-844-1300

2023-24

MATHEMATICS

REGULAR ATTENDERS

Students

School Goals

At Ladd Acres, it is our goal to have all students reach their highest academic and social potential. We carefully monitor student growth in the areas of reading and math through the use of timely assessments. We create welcoming and engaging learning environments together with our students. Students learn self-regulation strategies through our socialemotional curriculum. We promote the importance of regular attendance so that students can maximize their learning time. We want all of our students to dream big, reach for the stars, and achieve success!

State Goals

The Oregon Department of Education is collaborating with school districts and communities across the state to achieve a 90% ontime graduation rate by 2027. Grounded in the pillars of Academic Excellence, Belonging and Wellness, and Reimagined Accountability, ODE prioritizes evidence-based practices to boost early literacy, attendance, and student engagement. We are committed to closing opportunity and achievement gaps for marginalized students and securing long-term success for all of Oregon’s learners by investing in culturally responsive practices, fostering inclusive environments and always driving for continuous improvement.

Safe & Welcoming Environment

We recognize the diversity and worth of all students, individuals and groups, and are committed to both educating and providing a safe and inclusive space for everyone. We believe that students learn best when they feel safe and valued. Our staff is skilled, caring, and dedicated to fostering each student’s academic and personal growth in a supportive and welcoming environment.

Our Staff (rounded FTE)

OREGON AT-A-GLANCE SCHOOL PROFILE

Ladd Acres Elementary School

Outcomes

REGULAR ATTENDERS

ENGLISH LANGUAGE ARTS

About Our School

BULLYING, HARASSMENT, AND SAFETY POLICIES

EXTRACURRICULAR ACTIVITIES

PARENT ENGAGEMENT

COMMUNITY ENGAGEMENT

Our number one priority and goal is to ensure students are safe. To that end, we have a network of adults, systems, structures, protocols, and other supports we leverage to keep our school as safe as possible. To learn more, please visit www.hsd.k12.or.us/keepingstudentssafe. Ensuring safety also means that positive, respectful, and responsible behavior is expected at all times. We do not tolerate bullying or harassment. To learn more about the District’s definition and response to bullying and/or harassment, please see Board Policies JFCF and JFCFAR: Hazing, Harassment and Bullying, as well as the Standards of Student Conduct.

This year we are planning a full slate of after-school activities. Please check our newsletter and website for details.

Parent engagement is encouraged and embraced at Ladd Acres. Our PTA serves the school in a variety of ways, including providing funding to support technology, arts, physical activity, and evening family events. Monthly PTA meetings provide families with an opportunity for input and communication. Community events are another way for parents and families to connect with each other and the school staff.

At Ladd Acres, we offer the following engagement events and provide all constituents with the opportunity for input and partnership: Good Neighbor Project partnership; Century HS STARS program (high school students provide curriculum to elementary school students); local business partnerships for class visits and career festival; Intel support; Elks - holiday supports for families; Red Tricycle Brigade fundraiser; College and Career Day; Fun Run in the fall; Golden Roads Arts; and family events such as Movie Night, Carnival, and STEAM Night.

Students We Serve

OREGON AT-A-GLANCE SCHOOL PROFILE

R A Brown Middle School

PRINCIPAL:Andrew Bekken |GRADES:7-8 |1505 SW Cornelius Pass Rd, Hillsboro 97123 |503-844-1070

2023-24

MATHEMATICS

REGULAR ATTENDERS

Students

School Goals

R.A. Brown staff are committed to making sure all students are ready for high school with the academic and social skills needed to realize their dreams. We will focus on fostering a sense of belonging for all students, supporting the use of rigorous academic language, and promoting consistent attendance habits. Staff will utilize collaborative structures to ensure they know their students' needs in order to help them take the next step in their education, build authentic relationships that value each individual's lived experience, and continue refining best teaching strategies to empower students.

State Goals

The Oregon Department of Education is collaborating with school districts and communities across the state to achieve a 90% ontime graduation rate by 2027. Grounded in the pillars of Academic Excellence, Belonging and Wellness, and Reimagined Accountability, ODE prioritizes evidence-based practices to boost early literacy, attendance, and student engagement. We are committed to closing opportunity and achievement gaps for marginalized students and securing long-term success for all of Oregon’s learners by investing in culturally responsive practices, fostering inclusive environments and always driving for continuous improvement.

Safe & Welcoming Environment

We recognize the diversity and worth of all students, individuals and groups. We are committed to providing a safe and inclusive space for everyone, regardless of their race, color, religion, immigration status, or any other basis. We believe that students learn best when they feel safe and valued. Our staff is highly skilled, caring, and dedicated to fostering a safe and welcoming environment. We encourage students to demonstrate care for one another by respecting each other's rights, and to continue building strong relationships across differences through respectful communication.

Our Staff (rounded FTE)

OREGON AT-A-GLANCE SCHOOL PROFILE

R A Brown Middle School

Outcomes

REGULAR ATTENDERS

ENGLISH LANGUAGE ARTS

About Our School

BULLYING, HARASSMENT, AND SAFETY POLICIES

EXTRACURRICULAR ACTIVITIES

PARENT ENGAGEMENT

COMMUNITY ENGAGEMENT

We believe that all students deserve to feel safe in order to make the most of their education. If students experience behavior from others that substantially interferes with their education or creates a hostile educational environment, they should immediately notify a staff member. This includes behavior at school, during school activities, while riding Hillsboro School District transportation, at official bus stops, or through the use of electronic communication devices.

We believe a strong school community is built in the classroom and through extracurricular activities. At R.A. Brown, students will have the ability to join extracurricular activities both during and after the school day. These opportunities may include, but are not limited to: Advisory clubs, Black Student Union, Zone sports teams, Aeronautics Club, STEAM Club, Runner 2 Runner, Latino Youth Program. We partner with community organizations as well as the Hillsboro School District's Extracurricular Services department to make sure students have a wide variety of extracurricular choices.

Families and caregivers are vital partners in the success of our students. We look forward to creating a strong home-to-school partnership that allows our staff to better understand and support our community. When surveys are sent by R.A. Brown, or the Hillsboro School District, please take time to provide your thoughtful feedback. If you have a question or concern about our school, please reach out to your student's teacher or grade level administrator. R.A. Brown sends out a weekly email newsletter with upcoming school and district events as well as important information regarding the school year. Please look for the R.A. Brown Community Newsletter in your email or on the Remind app every Friday.

The staff at R.A. Brown Middle School is excited to partner with community members to enrich the educational experience of our students. Guest speakers regularly visit to share their college and career experiences with our AVID students. Our playing fields are used by multiple community sports leagues. Volunteers are always welcome. If you would like to volunteer at R.A. Brown, please call 503-844-1070.

Students We Serve

OREGON AT-A-GLANCE SCHOOL PROFILE

Century High School

PRINCIPAL:Julie Kasper |GRADES:9-12 |2000 SE Century Blvd, Hillsboro 97123 |503-844-1800

2023-24

REGULAR ATTENDERS

Students

Students

Students earning a diploma within four years. Cohort includes students who were first-time ninth graders in 2019-20 graduating in 2022-23

FIVE-YEAR COMPLETION

Students earning a high school diploma or GED within five years. Cohort Includes students who were firsttime ninth graders in 2018-19 finishing in 2022-23

from

COLLEGE GOING

Students enrolling in a two or four year college within 12 months of completing high school in 202122. Data from the National Student Clearinghouse.

School Goals

Century's goals are: 1. Ensuring that 100% of students can communicate what they are learning and articulate why today’s work matters; 2. Increasing students’ access to appropriate scaffolds; and 3. Having students report a sense of belonging in a school that is a welcoming, safe and predictable place to be, where their voices are valued and listened to, and where their cultural background, ethnicity, and identity are celebrated. We strive to achieve all of these goals while engaging families as key partners.

State Goals

The Oregon Department of Education is collaborating with school districts and communities across the state to achieve a 90% ontime graduation rate by 2027. Grounded in the pillars of Academic Excellence, Belonging and Wellness, and Reimagined Accountability, ODE prioritizes evidence-based practices to boost early literacy, attendance, and student engagement. We are committed to closing opportunity and achievement gaps for marginalized students and securing long-term success for all of Oregon’s learners by investing in culturally responsive practices, fostering inclusive environments and always driving for continuous improvement.

Safe & Welcoming Environment

The best foundation for a safe, welcoming environment and student success is the development of positive relationships between students and staff, and that remains a priority at Century. Safety features include a secure entry vestibule, interior door locks, increased security cameras, a third campus security monitor, and key card access to enter the building. Supports for students include Care Team, graduation coaches, a wellness counselor, a Wellness Center with a wellness coordinator, the use of trauma-informed and restorative practices, student clubs, activities, sports, and academic supports including homework club.

Our Staff (rounded FTE)

OREGON AT-A-GLANCE SCHOOL PROFILE

Century High School

Outcomes

REGULAR ATTENDERS

TO GRADUATE

About Our School

ADVANCED COURSEWORK

CAREER & TECHNICAL EDUCATION

EXTRACURRICULAR ACTIVITIES

PARENT & COMMUNITY ENGAGEMENT

Advanced Placement (AP) Courses include Studio Art, Biology, Calculus, Chemistry, Economics, European History, Human Geography, Language and Composition, Literature and Composition, Music Theory, Physics, Psychology, Spanish Language, Spanish Literature, Statistics, U.S. History, US Government, and World History. Advanced offerings can be found in ELA 9, ELA 10, ELA 11, College Prep ELA (12), Data Science, and Advanced Algebra Financial Applications. Century also offers dual credit in 18 courses, including English Language Arts, Health Sciences, Anatomy and Physiology, AP US History, AP Psychology, Communications, Child Development, Culinary Arts, Pre-Calculus, Spanish, and Theatre. Eighty percent of Century seniors take one or more dual credit courses.

Century is proud to offer and continues to expand CTE programs in Business Education and Marketing, Drafting, Informational Technology, Engineering, Manufacturing, Introduction to Digital Technology, Programming, Web Design, Research and Development, Child Development, Culinary Arts, Health Sciences, and Graphic Design. We have also expanded CTE opportunities in technical theatre. Additionally, Century students have access to Automotive Technology, Welding, Sustainable Agriculture, Veterinary Science, Aerospace, Diesel Mechanics and Fire Science at other HSD campuses using the daily inter-campus shuttle. After-school CTE programs include DECA; Family, Career and Community Leaders of America (FCCLA); STEM and Maker's Space; Medical Assisting; and the Software Entrepreneurs Club.

Century is proud to offer OSAA-recognized athletic teams, including football, volleyball, soccer, basketball, swimming, wrestling, cheer, dance, baseball, softball, track and field, tennis, golf, orchestra, an array of choirs, solo music, and speech. We also offer our students 6 interscholastic clubs, 30 academic clubs, 5 service clubs, affinity groups/clubs such as Black Student Union and Students of Latin Lineage, drama and thespians, marching band, color and winter guards and drumline, and a state- and nationally-recognized student leadership program. Our school/district not only offers participation in emerging (non-OSAA) sports such as lacrosse and water polo, but we have a thriving unified sports program as well. Our goal is to increase participation in each program.

Parent and family involvement and support is crucial to our success. We work to reach, involve, and hear the voices of our diverse school community through surveys, parent nights, athletic and activity events, outreach to middle school families, newsletters, principal emails, social media, and home visits. We encourage parents and guardians to access their student's information on ParentVue and review the bi-monthly progress reports. We are working to increase communication about the many opportunities that exist for families to be involved in the Century community. Our Booster Club, PAC, Grad Party Parents, and Site Council offer opportunities for adults to learn about CHS and provide input to our school.

CI TY Y OF F HILL SB ORO O

91,611$52,0003250.2%49.8%

Hillsboro is thecounty seatofWashington County. Lying in theTualatin Valleyon the west side of thePortland metropolitan area, many technology companies operate in Hillsboro, making it the center of Oregon'sSilicon Forest. In particular, Intel'slargest site is in Hillsboro, and includes three large campuses: Ronler Acres, Jones Farm, and Hawthorn Farm, along with several smaller campuses that employ about 16,000workers. Other high-tech companies operating facilities in Hillsboro include Synopsys, Epson, Salesforce, and Oracle's (formerly Sun Microsystems) High-End Operations. Hillsboro is the corporate headquarters forRadiSysandPlanar Systems among others.

SCHOOL DISTRICTS SCH

Hillsboro Beaverton Newberg

HOUSING

54.6% of homes owner occupied

45.40% of homes rented

POPULATION DENSITY

3,800 inhabitants per sq. mile

35,487 housing units at an average density of 1,500 per sq. mile

HISTORY

AGE DEMOGRAPHIC

27% under age 18

9% between ages 18 to 24

35% between ages 25 to 44

21% between ages 45 to 64

8% above age 65

CITY QUICK FACTS

5th largest city in Oregon

24.25 square miles

194 feet elevation Highest

For thousands of years before the arrival of European-American settlers, the Atfalati tribe of theKalapuyalived in the Tualatin Valley near the later site of Hillsboro. The climate, moderated by the Pacific Ocean, helped make the region suitable for fishing, hunting, food gathering, and agriculture. Settlers founded a community here in 1842, later named afterDavid Hill, an Oregon politician. Transportation by riverboat on theTualatin Riverwas part of Hillsboro's settler economy. A railroad reached the area in the early 1870s and an interurban electric railway about four decades later. These railways, as well as highways, aided the slow growth of the city to about 2,000people by 1910 and about 5,000 by 1950, before the arrival of high-tech companies in the 1980s.

ME TRO O AREA A BASE E MAP P

LOCAL BUSINESSES

LOCAL BUSINESSES

LOCAL BUSINESSES

LOCAL BUSINESSES

LOCAL BUSINESSES

LOCAL BUSINESSES

LOCAL BUSINESSES

Public Library

LOCAL BUSINESSES

LOCAL BUSINESSES

LOCAL BUSINESSES

LOCAL BUSINESSES

LOCAL BUSINESSES

LOCAL BUSINESSES

HILLSBORO O UTILITIES S

Emergency

Police/Medical/Fire

911

Poison Control (800) 222-1222

www.aapcc.org

United States Postal Service (800) 275-8777

www.usps.com

Xfinity (800) 266-2278

www.xfinity.com

Ziply Fiber (866) 699-4759 www.ziplyfiber.com

Verizon (800) 483-4100 www.verizon.com

AT&T (800) 288-2020 www.att.com

CenturyLink (866) 963-6665 www.centurylink.com

Dish Network (800) 318-0572 www.dish.com

DIRECT TV (800) 531-5000 www.directtv.com

The Oregonian (503) 221-8240 www.oregonlive.com

TRI-MET (503) 238-7433 www.trimet.org

Northwest Natural Gas (800) 422-4012 www.nwnatural.com

Portland General Electric (503) 228-6322 www.portlandgeneral.com

City of Hillsboro Water Provider (503) 615-6702

www.hillsboro-oregon.gov

City of Hillsboro Sanitary Sewer (503) 681-6509 www.hillsboro-oregon.gov

Pride Disposal (503) 625-6177 www.pridedisposal.com

Hillsboro School District (503) 844-1500 www.hsd.k12.or.us

CHANGE OF ADDRESS

USPS

Below is the website if you would like to change your address online or you can visit your local post office, they will provide you with the change of address packet. https://moversguide.usps.com

Benefits you will receive when you change your address online are:

Exclusive mover savings coupons

Safe and secure with identity verification by a simple $1.00 charge to your credit or debit card

Email confirmation at the end of registration of your change of address

* Must have valid email address and credit card to register online.

AUTO REGISTRATION AND DRIVER LICENSING

Below is the website if you would like to change your address online or you can visit your local DMV office.

Oregon Department of Transportation DMV Services

1905 Lana Avenue NE Salem, OR 97314-0100

www.oregondmv.com/oregon/index.htm

General DMV Information Contact: 503-299-9999

VOTERS REGISTRTION

TO REGISTER TO VOTE, YOU MUST BE:

A citizen of the USA

A resident of Oregon

A Legal Resident of Oregon State at least 18 years of age on or before the next election.

HOW TO REGISTER

To register to vote online you will need an Oregon driver's license, permit or ID card number issued by the Oregon Driver and Motor Vehicle Services Division (DMV).

If you do not have an Oregon driver's license, permit or ID card, you can still use the online voter registration application. The information you enter will display on a voter registration card (PDF document) that you will need to print, sign and deliver to your county elections office to complete your registration.

REGISTRATION DEADLINE

A new registrant must submit their online registration by 11:59:59 p.m. Pacific Time on the 21st calendar day before an election to be eligible to vote in that election.

CHANGE OF ADDRESS

If you move to a new county, you must complete a new voter registration, otherwise you must request a transfer of your registration.

Clackamas County Voter Registration: 503-655-8510

Multnomah County Voter Registration: 503-988-3720

Washington County Voter Registration: 503-846-5800

MOVING CHECKLIST

UTILITIES

Electric

NW Natural Gas

Water District

Sewer District

Garbage Provider

Cable/Satellite

Fuel (Propane)

Phone Services

Internet

FINANCIAL

Banks and Credit Unions

Credit Card Companies (including department store credit cards)

Lenders

(Mortgage, Home Equity, Auto, Student Loans)

Insurance Companies

(Health, Renters, Auto, Home, Medical, Dental, Disability, Life)

Retirement

(Pension plans, 401K, Social Security, Veterans Affairs)

Investments (Investment Agencies and Brokers)

Online Bill Payer

Paypal

GOVERNMENT

US Post Office

Department of Motor Vehicles

(Obtain your driver’s license and change vehicle registration)

IRS

Passport Office

Veteran Affairs

Unemployment Office

(If you are currently receiving unemployment benefits)

HEALTH

Physician

Pharmacies

SERVICE PROVIDER

Childcare

Housecleaning Services

Delivery Services

Lawn Care Services

Veterinarian

Pool Service

MEMBERSHIPS

Health Clubs

Membership Clubs (AAA or similar)

Community Groups (PTA, Neighborhood Associations, Civic Clubs)

Children’s Extracurricular

Activities (Dance Classes, Music Lesson, Sports Clubs)

SUBSCRIPTIONS

Newspapers

Magazine (USPS will only forward 2 months)

Movie Subscriptions

Book or Music Clubs

OTHER

Friends and Family

Employers (typically notify the HR Department)

MOVING CHECKLIST 8

8 WEEK BEFORE YOU MOVE

Inventory Sheets: Create an inventory sheet of all your belongings which need to be moved Research Moving Options: You’ll need to decide if yours is a do-it-yourself move or if you’ll be using a moving company. Request Moving Quote: Solicit moving quotes from as many moving companies and movers as possible. There can be a large difference between rates and services within moving companies.

Discard Unnecessary Items: Moving is a great time for ridding yourself of unnecessary items. Have a yard sale or donate unnecessary items to charity.

Packing Material: Gather moving boxes and packing material for your move.

Contact Insurance Companies: You’ll need to contact your insurance agent to cancel/transfer your insurance policy.

1 WEEK BEFORE YOU MOVE

Your Change of Address: Change your address with the USPS, DMV, Financial Institutions, Utilities, Government Offices, Health Care Service Providers, Memberships, Subscriptions and Insurance Provisions.

Bank Accounts: Transfer or close bank accounts if changing banks. Make sure to have a money order for paying the moving company.

Service Automobiles: If automobiles are to be driven long distance, you’ll want to have them serviced so you have a trouble-free drive.

Cancel Services: Notify any remaining service providers (newspapers, lawn services, etc.) of your move.

Travel Items: Set aside all items you’ll need while traveling. Make sure these are not packed on the moving truck.. Contact Utility Companies: Set utility turnoff date, seek refunds and deposits and notify them of your new address.

4 WEEK BEFORE YOU MOVE

4 BEFO K B

Start Packing: Begin packing all things destined for your new location.

Start Packin Pa location

Obtain You You dentist and ist an nin records or m rds

Obtain Your Medical Records: Contact your doctor, physician, dentist and other medical specialists who may currently be retaining any of your family’s medical records. Obtain these records or make plans for them to be delivered to your new medical facilities if changing. Security is critical of personal records.

Note Food Inventory Levels: Check your cupboards, refrigerator and freezer. Use up as much of your perishable food as possible.

Small Engines: Service small engines for your move by extracting gas and oil from the machines. This will reduce that chance to catch fire during your move.

Protect Jewelry and Valuables: Transfer your jewelry and valuables to a safety deposit box; you don’t want them to be lost or stolen during your move.

Borrowed and Rented Items: Return items that you may have borrowed or rented. Collect items borrowed to others.

MOVIN

DA

MOVING DAY

Plan Your the house ho Someone me

Plan Your Itinerary: Make plans to spend the entire day at the house or at least until the movers are on their way.

Someone will need to be around to make decisions. Make plans for kids and pets to be at a sitters for the day.

Review the House: Once the house is empty, check the entire house (closets, attic, basement, etc.) to ensure no items are left or no home issues exist.

Double Check With Your Mover: Ensure the mover has the new property address and all of your most recent contact information, should they have any questions during your move.

Vacate Your Home: Make sure utilities are off, doors and windows are locked and notify your real estate agent you’ve vacated the property.

Questions To Ask: Where is the garage door opener? Where are the keys to the house, mailbox and other lockable area? Did you retrieve all keys from neighbors and friends?

THE HOME DEPOT

(800) 466-3337 www.homedepot.com

Beaverton (503) 469-4242 4401 SW 110th Ave. Beaverton, OR 97005

S. Beaverton (503) 646-1525

13700 NW Science Pk. Dr. Portland 97229

Clackamas (503) 774-6372

9300 SE 82nd Ave. Happy Valley, OR 97086

Hillsboro (503) 693-9090

1950 SE Minter Bridge Rd. Hillsboro 97123

Jantzen Beach (503) 289-9200

1728 N Tomahawk Island Dr. Portland 97217

Oregon City (503) 723-3181

2002 Washington St. Oregon City, OR 97045

E. Portland (503) 261-8543

10120 SE Washington St. Portland 97216

NE Portland (503) 252-0188

11633 NE Glen Widing Dr. Portland 97220

Sherwood (503) 925-8447

20260 SW Pacific Hwy. Sherwood, OR 97140

Tigard (503) 639-3500

14800 SW Sequoia Parkway Tigard 97224

MOVING RESOURCES

THE HOME DEPOT CONTINUED

Troutdale (503) 674-3944

25101 SE Stark St. Troutdale, OR 97060

LOWES (800) 466-3337 www.lowes.com

Hillsboro (503) 844-6200

1951 SE 24th Ave. Hillsboro, OR 97123

Milwaukie (503) 794-2500

13631 SE Johnson Rd. Milwaukie 97222

Portland (503) 737-3000

1160 N Hayden Meadows Dr. Portland 97217

Tigard (503) 624-2644 12615 SW 72nd Ave. Tigard, OR 97223

Wood Village (503) 667-1005

1000 NE Wood Village Blvd. Wood Village, OR 97060

DONATION FACILITIES

Goodwill (800) 741-0186 locator.goodwill.org

The Salvation Army (800) 958-7825 www.salvationarmyusa.org

Value Village (800) 958-7825 www.valuevillage.com

MOVING TRUCK RENTALS

Budget (800) 462-8343 www.budgettruck.com

Penske (888) 996-5415 www.pensketruckrental.com

Ryder (800) 297-9337 www.ryder.com

U-Haul (800) 468-4285 www.uhaul.com

STORAGE COMPANIES

NW Self Storage www.nwselfstorage

Public Storage (800) 906-0879 www.publicstorage.com

Pods (888) 309-8967 www.pods.com

TRANSFER STATIONS Garbage/Recycling

Metro Center (503) 234-3000

www.oregonmetro.gov 6161 NW 61st Ave. Portland, OR 97210

Metro South (503) 234-3000 www.oregonmetro.gov

2001 Washington St. Oregon City, OR 97045

AIRPORT

Portland International Airport (877) 793-4690 www.flypdx.com

AUTO & DRIVER REGISTRATION

DMV (503) 945-5000 www.odot.state.or.us/dmv/

BUS SERVICE

C-Tran (360) 695-0123 www.c-tran.com

Greyhound (800) 231-2222 www.greyhound.com

Tri-Met (503) 238-7433 www.tri-met.org

CABLE TV & INTERNET

Verizon (888) 881-8161 www.verizon.com

XFINITY (Comcast) (800) 934-6489 www.comcast.com

CITY CONTACT

Banks (503) 324-5112 www.cityofbanks.org

Beaverton (503) 526-2222 www.ci.beaverton.or.us

Canby (503) 266-4021 www.ci.canby.or.us

RESOURCE GUIDE

CITY CONTACT CONTINUED

Cornelius (503) 357-9112 www.ci.cornelius.or.us

Damascus (503) 658-8545 www.ci.damascus.or.us

Estacada (503) 630-8270 www.cityofestacada.org

Fairview (503) 665-7929 www.ci.fairview.or.us

Forest Grove (503) 359-3200

www.ci.forest-grove.or.us

Gaston (503) 985-3340

Gladstone (503) 656-5225 www.ci.gladstone.or.us

Gresham (503) 661-3000 www.ci.gresham.or.us

Happy Valley (503) 760-3325 www.ci.happy-valley.or.us

Hillsboro (503) 681-6100 www.hillsboro-oregon.gov

King City (503) 639-4082 www.ci.king-city.or.us

Lake Oswego (503) 635-0270 www.ci.oswego.or.us

Milwaukie (503) 786-7525 www.ci.cityofmilwaukie.org

CITY CONTACT CONTINUED Molalla (503) 829-6855 www.cityofmolalla.com

North Plains (503) 647-5555 www.northplains.org

Oregon City (503) 657-0891 www.ci.orcity.or.us

Portland (503) 823-4000 www.portlandonline.com

River Grove (503) 639-6919

Sandy (503) 668-5533 www.ci.sandy.or.us

Sherwood (503) 625-5522 www.ci.sherwood.or.us

Tigard (503) 639-4171 www.ci.tigard.or.us

Troutdale (503) 665-5175 www.ci.troutdale.or.us

Tualatin (503) 692-2000 www.tualatinoregon.gov

West Linn (503) 657-0331 www.westlinnoregon.gov

Wilsonville (503) 682-1011 www.ci.wilsonville.or.us

Wood Village (503) 667-6211 www.ci.wood-village-or.us

COUNTY CONTACTS

Clackamas (503) 655-8011 www.co.clackamas.or.us Taxation (503) 655-8671

Multnomah (503) 248-3511 www.co.clackamas.or.us Taxation (503) 988-3326

Washington (503) 846-8611 www.co.clackamas.or.us Taxation (503) 846-8741

ELECTRICITY

Pacific Power (888) 221 7070 www.pacificpower.net

Portland General (800) 542-8818 www.portlandgeneral.com

HOSPITALS

Adventist Medical (503) 257-2500 www.adventisthealthnw.com

Doernbecher Children’s Hospital (503) 494-8311 www.ohsu.edu

Legacy Good Samaritan (503) 413-4683 www.legacyhealth.org

Legacy Emanuel (503) 413-2200 www.legacyhealth.org

RESOURCE GUIDE

HOSPITALS CONTINUED

Legacy Meridian Park (503) 692-1212 www.legacyhealth.org

Legacy Mt. Hood (503) 674-1122 www.legacyhealth.org

Kaiser Permanente Sunnyside (503) 813-2000 www.kaiserpermanente.org

Kaiser Permanente Westside (503) 813-2000 www.kaiserpermanente.org

OHSU (503) 494-8311 www.ohsu.edu

Providence Milwaukie (503) 513-8300 www.providence.org

Providence Portland (503) 215-1111 www.providence.org

Providence St. Vincent (503) 216-1234 www.providence.org

Providence Willamette Falls (503) 656-1631 www.providence.org

Shriner’s Hospital (503) 241-5090 www.shrinershq.org

Tuality Community (503) 681-1111 www.tuality.org

Tuality Forest Grove (503) 357-2173 www.tuality.org

NATURAL GAS

NW Natural (800) 422-4012 www.nwnatural.com

NEWSPAPERS

The Columbian (360) 694-3391 www.columbian.com

The Oregonian (503) 221-8240 www.oregonlive.com

Willamette Weekly (503) 243-2122 www.wweek.com

RECREATION

Convention Center (503) 235-7575 www.oregoncc.org

Expo Center (503) 736-5200 www.expocenter.org

Mt. Hood Meadows (503) 337-2222 www.mthoodmeadows.com

OMSI (503) 797-4000 www.omsi.edu

Oregon Zoo (503) 266-1561 www.oregonzoo.com

Portland International Raceway (503) 823-7223 www.portlandraceway.com

Portland Art Museum (503) 266-2811 www.pam.org

RESOURCE GUIDE

RECREATION CONTINUED

Providence Park (503) 553-5400 www.providenceparkpdx.com

Regal Cinemas (800) FANDANGO www.regalcinemas.com

Moda Center (503) 797-9619 www.rosequarter.com

Willamette Jetboat (503) 231-1532 www.willamettejet.com

SHOPPING

Bridgeport Village (503) 968-1704 www.bridgeport-village.com

Cedar Hills Crossing (503) 643-6563 www.cedarhillscrossing.com

Clackamas Town Center (503) 653-6913 www.clackamastowncenter.com

Columbia Gorge Outlets (503) 669-8060 www.premiumoutlets.com/ columbiagorge

Lloyd Center (503) 282-2511 www.lloydcenter.com

Mall 205 (503) 255-5805

Pioneer Place (503) 228-5800 www.pioneerplace.com

SHOPPING CONTINUED

Streets of Tanasbourne (503) 533-0561 www.streetsoftanasbourne.com

Washington Square (503) 369-8860

www.shopwashingtonsquare.com

Woodburn Outlets (888) 664-SHOP www.woodburncompanystores.com

TELEPHONE SERVICE

Verizon (800) 483-4100 www.verizon.com

AT&T (800) 288-2020 www.att.com

TRANSFER STATIONS

Metro Center (503) 234-3000

www.oregonmetro.gov 6161 NW 61st Ave. Portland, OR

Metro South (503) 234-3000 www.oregonmetro.gov 2001 Washington St. Oregon City, OR

Clackamas County (503) 668-8885 www.wmnorthwest.com 19600 SE Canyon Valley Rd. Sandy, OR

VOTER REGISTRATION

Clackamas (503) 655-8510

Multnomah (503) 248-3720

Washington (503) 846-5800

WATER BUREAU

Beaverton (503) 526-2257

Clackamas (503) 722-9220

Gladstone (503) 656-5223

Gresham (503) 618-2373

Hillsboro (503) 681-6228

Lake Oswego (503) 635-0265

Milwaukie (503) 786-7525

Oregon City (503) 657-8151

Portland (503) 823-7770

Tigard (503) 639-1554

Tualatin (503) 692-2000

West Linn (503) 656-4261

Wilsonville (503) 682-1011

CYBER SECURITY

Because of you… we obsess over cyber security!

Cyber fraud and email hacking are on the rise. Fraudsters may access individual email accounts and monitor the life of your transaction. At the time funds are due to the escrow, fraudsters intercept the information for wiring funds, and the fraudsters change the information without the knowledge of the sender or recipient, resulting in the funds being sent to an outside account and never credited to the intended party.

To protect and reduce your risk, WFG has implemented the following procedures for outgoing and incoming wires:

Outgoing Wire from WFG to seller or borrower for proceeds

In the escrow paperwork provided you will be asked to provide written instructions on how you want funds due you sent to you at the close of escrow. If you choose to have the funds sent via wire transfer, WFG will contact you by phone to confirm the wire information provided.

Incoming Wires from the buyer and/or lender to WFG bank account

For funds that are to be wired to WFG for your transaction, we will send specific wire instructions to the remitting person via an encrypted email. We recommend you reach out to your WFG contact to confirm the wire instructions prior to remittance.

We look forward to processing your escrow transaction for you. We know that this can be a stressful time and we are here to assist you in any way we can to make this a good experience.

http://national.wfgnationaltitle.com/2016/04/05/obsess-cyber-security/

OWNERS TITLE INSURANCE Why

it's important

Financially speaking, the decision to buy a home is one of the biggest decisions a person will likely ever make.

Owner’s title insurance insures that, when the purchase is closed, the buyer is the owner of and has marketable title to the property, has access to the home, and there are no liens, claims, or restrictions on the buyer’s property, other than the mortgage the buyer agrees to pay.

If the preliminary title search uncovers potential problems, a buyer can require that those problems be satisfactorily dealt with before closing on the home.

In addition, owner’s title insurance protects buyers against a myriad of risks that not even the most careful title search can uncover, including things such forged documents, undisclosed or missing heirs of a previous owner, fraud, will disputes, and unrecorded claims of many types.

Without owner’s title insurance, the legal costs to resolve such title claims could easily be in the tens of thousands of dollars and would have to be paid out of pocket by the buyer - not to mention the stress that such situations would cause to the buyer.

Owner’s title insurance is one of the most affordable insurance policies a person can ever buy. Unlike other forms of insurance, there is only a one-time fee at closing for the policy, which financially protects the buyer’s investment for as long as the buyer or the buyer’s heirs own the home.

So, if someone tells the buyer that owner’s title insurance is “optional”, that certainly does not mean that the buyer should not get it. Virtually every lender requires lender’s title insurance, but that insurance does not protect the buyer.

In order to safeguard the buyer’s investment in the property, which is possibly the most important investment the buyer will ever make, owner’s title insurance is absolutely critical.

WHAT IS ESCROW?

Understanding the Escrow Process

An escrow is an arrangement in which a neutral third party (the escrow agent) assembles and processes many of the components of a real estate transaction, records the transaction, and ultimately, disburses and distributes funds according to the buyers’, sellers’ and lenders’ instructions. Your transaction is typically closed by an Escrow Officer. People buying and selling real estate usually open an escrow for their protection and convenience. Both the buyer and seller rely on the escrow agent to carry out their written instructions relating to the transaction and to advise them if any of their instructions are not mutually consistent or cannot be carried out. If the instructions from all parties to an escrow are clearly drafted, the escrow officer can proceed on behalf of the buyer and seller without further consultation. This saves much time and facilitates the closing of the transaction.

TYPICAL ROLES IN THE CLOSING PROCESS

The Seller/Agent

Delivers a fully executed Purchase Sale Agreement to the escrow agent.

Executes the paperwork necessary to close the transaction.

The Buyer/Agent

Deposits collected funds required to close (in with the escrow agent.

Approves the commitment for title insurance, or other items as called for by the Purchase Sale Agreement.

Executes the paperwork and loan documents necessary to close the transaction.

The Escrow Agent

The Lender Clears Title

Deposits loan documents to be executed by the buyer

Deposits the loan proceeds. Directs the escrow agent of the conditions under which the loan funds may be used

Obtains title insurance

Obtains payoffs and release documents for underlying loans on the property Receives funds from the buyer and/or lender. Prepares vesting document affidavit on seller’s behalf.

Prorates insurance, taxes, rents, etc.

Prepares a final statement (often referred to as the “HUD Statement” or ”Settlement Statement”) for each party, indicating amounts paid in conjunction with the closing of your transaction. Forwards deed to the county for recording. Once the proper documents have been recorded, the escrow agent will distribute funds to the proper parties.

In Summary

Escrow is the process that assembles and processes many of the components of a real estate transaction. The sale is officially closed when the new deed is recorded and funds are available to the seller, thus transferring ownership from the seller to the buyer. The escrow agent is a neutral third party acting on behalf of the buyer and seller.

WHAT IS TITLE?

About Title Insurance

Title is a bundle of rights in real property. Protecting purchasers and lenders against loss is accomplished by the issuance of a title insurance policy. Usually, during a purchase transaction, the lender requests a policy (commonly referred to as the Lender’s Policy) while the buyers receive their own policy (commonly referred to as an Owner's Policy).

In short, the policy states that if the status of the title to a parcel of real property is other than as represented, and if the insured (either the owner or lender) suffers a loss as a result of a title defect, the insurer will reimburse the insured for that loss and any related legal expenses, up to the face amount of the policy, subject to exceptions and exclusions contained in the policy.

Typically there are two policies issued. The Mortgagee’s Policy insures the lender for the amount of the loan. The Owner’s Policy insures the purchaser of the purchase price.

How is title insurance different from other types of insurance?

While the function of most other forms of insurance is risk assumption through the pooling of risks for losses arising out of unforeseen future events (such as sickness or accidents), the primary purpose of title insurance is to eliminate risks and prevent losses caused by defects in title arising out of events that have happened in the past. To achieve this goal, title insurers perform an extensive search and examination of the public records to determine whether there are any adverse claims (title defects) attached to the subject property. Said defects/claims are either eliminated prior to the issuance of a title policy

or their existence is excepted from coverage. Your policy is issued after the closing of your new home, for a one-time nominal fee, and is good for as long as you own the property.

What’s involved in a title search? A title search is actually made up of three separate searches:

Chain of Title – History of the ownership of the subject property

Tax Search – The tax search reveals the status of the taxes and assessments

Judgment and Name Search – Searches for judgment and liens against the owners’ and purchasers’ names

Once the three searches have been completed, the file is reviewed by an examiner who determines:

Whether or not the Chain of Title shows that the party selling the property has the right to do so. The status of taxes for the subject property. The Tax Search will also indicate the existence of any special assessments against the land and whether or not these assessments are current or past due.

Whether there are any unsatisfied judgments on the Judgment and Name Search against the previous owners, sellers, or and purchasers.

Rights established by judgment decrees, unpaid federal income taxes and mechanic liens all may be prior claims on the property, ahead of the buyer’s or lender’s rights. The title search will only uncover defects in title that are of public record, thus allowing the title company to work with the seller to clear up these issues and provide the new buyer with title insurance.

In Summary

After the searches have been examined, thetitlecompanywillissueacommitment, stating the conditions under which it will insure title. The buyer, seller and the mortgage lender will proceed with the closing of the transaction after clearing up any defects in the title that have been uncovered by the search and examination.

.

WHO PAYS WHAT IN OREGON

SELLER PAYS

TYPICAL COSTS

The following costs generally affect all transactions:

Escrow Fee - one-half of the fee, based on title company’s fee schedule

Recording Fees - based on county fee schedule

Title Premium - based on fixed statewide fee schedule

Real Estate Commission - based on agreement with Broker

Tax Prorate - to apportion taxes between parties as of date of closing

General Costs - as listed for each specific transaction, as requested by principals

Release fees for loan payoff(s)

LAND SALE CONTRACT TRANSACTION

Attorney Fee - optional, and is sometimes shared with purchaser

Collection Escrow Setup Fee - optional, and is often shared with purchaser

ASSIGNMENT OF CONTRACT FOR ASSUMPTION OF LOAN TRANSACTION

Any delinquent payments to bring contract or loan current

Prorate share of current month’s interest based on current rate

CONVENTIONAL, FHA, VA LOAN TRANSACTIONS

Any closing cost (not expenses of property or loan interest) negotiated on behalf of the purchaser, subject to lender’s approval

FHA, VA Loans - check with lender for any applicable seller costs

BUYER PAYS

TYPICAL COSTS

The following costs generally affect all transactions:

Escrow Fee - one-half of the fee, based on title company’s fee schedule

Recording Fees - based on county fee schedule

Fire Insurance Premium - mandatory when any lender is involved, including the seller’s lender

Tax Prorate - to apportion taxes between parties as of date of closing

General Costs - as listed for each specific transaction, as requested by the principals

LAND SALE CONTRACT TRANSACTION

Attorney Fee - optional, and is sometimes shared with seller

Collection Escrow Setup Fee - optional, and is sometimes shared with seller

Recording Fee - for contract or memorandum thereof

ASSIGNMENT OF CONTRACT FOR ASSUMPTION OF LOAN TRANSACTION

Assumption or Assignment

Next monthly payment due, if required by lender

Recording Fee - for Assumption/Assignment of Agreement, if required by lender

CONVENTIONAL, FHA, VA LOAN TRANSACTIONS

Lenders title insurance policy & endorsements, as required by lender

Loan Fee - as required by lender

Credit Report Fee - as required by lender

Appraisal Fee - as required by lender

Mortgage Insurance Premium - based on fee schedule and endorsements of lender

Prepaid Interest - if required by lender

VA Loans only - funding fee, if required by lender

FHA, VA, and some Conventional Loans - reserves for real property taxes, fire insurance and mortgage insurance

TITLE VESTING Common ways to hold title to real property

AS AN INDIVIDUAL

An individual may hold title in his or her name only, regardless of whether or not married – e.g. “Jane Smith, an individual”. That individual then owns all rights to the property, which can be sold or transferred to others via will or trust. While a divorce is pending, however, if the property was acquired during the marriage it will likely be treated as part of the marital estate and thus be subject to court authority.

AS TENANTS BY THE ENTIRETY

A conveyance to a husband and wife creates a tenancy by the entirety – e.g. “John Smith and Jane Smith, husband and wife, as tenants by the entirety”. This creates a survivorship estate, which means that if one spouse dies, his/her interest will automatically go to the surviving spouse. A husband and wife may also take title as tenants in common (discussed below) if the intention to hold title in that manner is expressly stated.

AS TENANTS IN COMMON

Unless a conveyance expressly provides that the parties intend to create a survivorship estate (discussed below), a conveyance to two or more persons who are not married creates a tenancy in common in which each has (unless otherwise stated) an equal undivided interest in the property – e.g. “John Smith and Robert Jones, as tenants in common, each as to an undivided 50% interest”. Each tenant in common then owns an undivided interest in the entire property, which can be sold or transferred to others via will or trust.

AS A SURVIVORSHIP ESTATE

Two or more persons who are not married may also hold title as tenants in common with a right of survivorship, as long as the survivorship declaration is expressly contained in the deed – e.g. “John Smith and Robert Jones, not as tenants in common, but with the right of survivorship”. This creates a survivorship estate, which means that if one party dies, his/her interest will automatically go to the survivor and cannot be sold during the lifetime of or transferred via will or trust by the party who dies first.

AS REGISTERED DOMESTIC PARTNERS

Registered domestic partners may take title as (i) tenants in common– e.g. “Jane Smith and Mary Jones, registered domestic partners, as tenants in common, each as to an undivided 50% interest”, or (ii) in a survivorship estate similar to that of a tenancy by the entirety – e.g. “Jane Smith and Mary Jones, as registered domestic partners with right of survivorship”.

AS A SAME SEX MARRIED COUPLE

Same sex married couples may take title as (i) tenants in common – e.g. “John Smith and Robert Smith, a married couple, as tenants in common, each as to an undivided 50% interest”, or (ii) in a survivorship estate similar to that of a tenancy by the entirety – e.g. John Smith and Robert Smith, a married couple with right of survivorship, or (iii) as tenants by the entirety – e.g. “John Smith and Robert Smith, a married couple, as tenants by the entirety”.

AS AN ENTITY

A registered entity, such as a corporation, limited liability company or partnership, may hold title. Title should be held exactly as the name is registered with the Oregon Secretary of State – e.g. “Smith & Jones, LLC, an Oregon limited liability company”.

ADMINISTRATIVE

12909 SW 68th Pkwy. Ste. 350 Portland, OR 97223 503-431-8500

CLACKAMAS

9200 SE Sunnybrook Blvd. Ste. 350 Clackamas, OR 97015 503-353-9975

LAKE OSWEGO

5885 Meadows Rd. Ste. 130 Lake Oswego, OR 97035 503-624-4900

LLOYD/COMMERCIAL

NW PORTLAND 25 NW 23rd Pl. Ste. 1 Portland, OR 97210 503-219-9088

BETHANY 1500 NW Bethany Blvd. Ste. Beaverton, OR 97006 503-850-3990

2001 SE Columbia River Dr Ste. 100 Vancouver, WA 98661 360-314-0300

SALMON CREEK

2105 NE 129th St. Ste. 107 Vancouver, WA 98686 360-314-1818

VANCOUVER MALL

Ste. 2 0 Vancouver, WA 98662 360-891-5454

EAST VANCOUVER 2004 SE 192nd Ave. Ste. 100 Vancouver, WA 98683 360-356-9990 1 2 3 5 6 7 8 9 4 10

700 NE Multnomah St. Ste. 190 Portland, OR 97232 503-230-8488

This week the median list price for Hillsboro, OR 97123 is $473,400 with the market action index hovering around 34. This is less than last month's market action index of 35. Inventory has decreased to 45.

Market Action Index

This answers “How’s the Market?” by comparing rate of sales versus inventory.

Price of New Listings

Slight Seller's Advantage

Market Narrative

In the last few weeks the market has achieved a relative stasis point in terms of sales to inventory. However, inventory is sufficiently low to keep us in the Seller’s Market zone so watch changes in the MAI. If the market heats up, prices are likely to resume an upward climb.

Market Segments

Slight Seller's Advantage

Each segment below represents approximately 25% of the market ordered by price.

MedianListPrice

Prices in this zip code seem to have settled around a plateau. Look for a persistent down-shift in the Market Action Index before we see prices deviate from these levels.

$600K

$500K

$400K

Segments

In the quartile market segments, we see prices in this zip code generally settled at a plateau, although Quartile 1 is on a bit of an up trend in recent weeks. We'll need to see a persistent shift in the Market Action Index before we see prices across the board move from these levels.

$700K

PricePerSquareFoot

The market plateau is seen across the price and value. The price per square foot and median list price have both been reasonably stagnant. Watch the Market Action Index for persistent changes as a leading indicator before the market moves from these levels.

Inventory has been falling in recent weeks. Note that declining inventory alone does not signal a strengthening market. Look to the Market Action Index and Days on Market trends to gauge whether buyer interest is changing with the available supply.

MarketActionIndex

In the last few weeks the market has achieved a relative stasis point in terms of sales to inventory. However, inventory is sufficiently low to keep us in the Seller’s Market zone so watch changes in the MAI. If the market heats up, prices are likely to resume an upward climb.

MarketActionSegments

Not surprisingly, all segments in this zip code are showing high levels of demand. Watch the quartiles for changes before the whole market changes. Often one end of the market (e.g. the highend) will weaken before the rest of the market and signal a slowdown for the whole group.

MedianDaysonMarket(DOM)

The properties have been on the market for an average of 85 days. Half of the listings have come newly on the market in the past 63 or so days. Watch the 90-day DOM trend for signals of a changing market.

Segments

It is not uncommon for the higher priced homes in an area to take longer to sell than those in the lower quartiles.

Instant access to

WFG’s MyHome® provides full transparency, real-time updates, and post-closing home information in a secure built with YOU in mind.

Sign up for an account at https://myhome.wfgtitle.com today!

Click Register for MyHome® account on a MyHome® email to https://myhome. wfgtitle.com

Complete a brief registration form. Use your email address on immediate access.

Contact information for

entire escrow process

via text, email, or

for your transaction

your escrow team

CONSUMER EXPERIENCE TIMELINE

TRANSACTION CLOSED

GATHER UP

SIGNING SCHEDULED

CLOSE TO SIGNING

TITLE CLEARED

UPDATER INVITATION

TITLE REPORT DELIVERED

TRANSACTION STARTED

MIDPOINT FEEDBACK

EARNEST MONEY

Turn static files into dynamic content formats.

Create a flipbook
Issuu converts static files into: digital portfolios, online yearbooks, online catalogs, digital photo albums and more. Sign up and create your flipbook.