Huaca las conchas

Page 1

INTERVENCIÓN URBANA MONUMENTAL

HUACA LAS CONCHAS

“Hay un número tan elevado de grandes ciudades en el mundo, que las personas que las habitan viven más aisladas que nunca.”

Toyo

Ito

Curso de asignatura: Ciudad y Patrimonio Histórico

Arquitecto: Omar Cristhian Yanavilca Antoca

Universidad Cesar Vallejo

Portafolio Arquitectónico

Trujillo, Perú 2024

AQUINO MERCADO, MAURA BELEN GARCÍA FRIAS, ALEJANDRO SAAVEDRA GORDILLO, CRISTOPHER

maaquinom@ucvvirtual.edu.pe magarciaf01@ucvvirtual.edu.pe

crsaavedrag@ucvvirtual.edu.pe

SAAVEDRA, RICKY VEREAU GERONIMO, KARIN

rsolaris@ucvvirtual.edu.pemavereaug@ucvvirtual.edu.pe

(orcid.org/0000-0002-3310-4813) ( orcid.org/0000-0001-6181-4647) (orcid.org/0000-0002-2022-3426) (orcid.org/0000-0003-4114-6244 ) ( orcid.org/0000-0002-6642-7416)

SOLARI

CAPÍTULO I. INTRODUCCIÓN

Ruta metodológica

Justificación

Tipo de intervención

CAPÍTULO II. HISTORIA DEL LUGAR

Reseña histórica

Registro fotográfico

CAPÍTULO III. ANÁLISIS

Delimitación del área a intervenir

CAPÍTULO IV.

Objetivos

DIAGNÓSTICO

Selección metodológica

Externalidades positivas y negativas

Zonificación

Condición ambiental

Conclusiones

REFERENCIAS ÍNDICE

Contexto mediato e inmediato

Plano de ubicación y localización

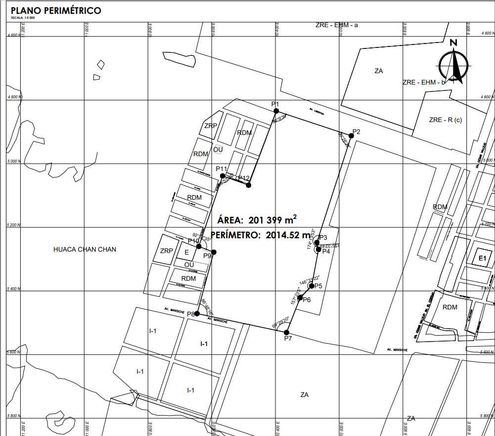
Plano poligonal

Plano topográfico

Equipamientos urbanos existentes

Viabilidad

Problemática

CAPÍTULO V. PROPUESTA

Propuestas de intervención

Anexos

RUTA METODOLÓGICA

ETAPA 1°

INVESTIGACIÓN

Definición de la Investigación

Identificación y Selección del Área

Evaluar el Entorno Urbano

Contexto Histórico y Cultural

Identificación del Patrimonio Histórico

ETAPA 3°

DISEÑO Y PLANIFICACIÓN

ETAPA 4°

IMPLEMENTACIÓN

Propuesta de intervención

Elaboración de la Propuesta

Implementación de Nuevos Equipamientos

Mejoramiento Vial Ubicación

Problemas Sociales

Tipo de Intervención

Modalidad de Intervención Arqueológica

Evaluación de impacto y viabilidad

ETAPA 2°

DIAGNÓSTICO

Planteamiento del Problema

Objetivos del Análisis

Selección de Metodología

COMUNICACIÓN DE RESULTADOS

Análisis Normativo

Análisis de los Datos

Recopilación del Entorno

Componentes Físicos

Accesibilidad

Movilidad Urbana

Trama Urbana

Infraestructura Urbana

Arquitectura del Patrimonio

CAPÍTULO I. INTRODUCCIÓN

JUSTIFICACIÓN

Se considera trabajar en este sector donde se encuentra la Huaca las Conchas, que posee en sus alrededores potencialidades en lo que respecta al turismo, aparte de poder brindar a las viviendas una mejor estabilidad en su infraestructura.

HUACA LAS CONCHAS

HUACA LAS CONCHAS

INTERVENCIÓN URBANA

REVITALIZACIÓN:

Revitalizabarriosantiguosodegradadosmediantela inversión en proyectos culturales, comerciales y de ocio.

RESEÑA HISTÓRICA

Centro ceremonial y administrativo donde se realizaban rituales religiosos, actividades políticas y sociales. Su nombre proviene de los numerosos restos encontrados de conchas marinas.

HUACA LAS CONCHAS (1000-1470 d.C)
CAPÍTULO II. HISTORIA DEL LUGAR

DELIMITACIÓN DEL ÁREA A INTERVENIR

HUACA LAS CONCHAS

ÁREA A INTERVENIR 20.17 h.

VILLA

COMPLEJO CHAN CHAN TRUJILLO CENTRO
DEL
CAPÍTULO III. ANÁLISIS
MAR

CONTEXTO INMEDIATO

COLEGIO FUTURA

SCHOOLS

MUSEO DE SITIO CHAN

CHAN

HUACA TOLEDO

CONTEXTO MEDIATO

COLEGIO MILITAR GRAN MARISCAL RAMÓN CASTILLA

PLAZA MALL TRUJILLO

UPN SEDE SAN ISIDRO

LEYENDA

CONTINUO URBANO

HOSPITAL REGIONAL DOCENTE DE TRUJILLO

FACULTAD DE MEDICINA DE LA UNT

MAKRO LA ESPERANZA

N

PLANOS DE UBICACIÓN

Y
LOCALIZACIÓN

PLANO DE LA POLIGONAL PERIMÉTRICA

TOPOGRFÍCO
PLANO

UBICACIÓN SATELITAL EN GOOGLE EARTH

Avenida España Avenida Mansiche Terreno delimitado CAR. Huanchaco Avenida Jesús de Nazareth

CONTEXTO INMEDIATO

MALL PLAZA TEMPLO DE TRUJILLO PERÚ IGLESIA SAN JOSÉ ARQUIDIOCESIS

CONTEXTO MEDIATO

D
DEL
UNIVERSIDAD NACIONAL DE TRUJILLO UNIVERSIDA
PRIVADA
NORTE
COLEGIO MILITAR GRAN MARISCAL RAMÓN CASTILLA RESTAURANTE CAMPESTRE LAS PRADERAS DE VALDIVIA

EQUIPAMIENTOS URBANOS EXISTENTES EN LOS CONTEXTOS

Continuo urbano

PARQUE LOS PINOS DE SOLILUZ
DROX
PARQUE GATO DE BOTERO PARQUE SAN ISIDRO PARQUE 1 SOLILUZ ZONAS RECREATIVAS

CONSULTORIO

SALUD
PULMON

EQUIPAMIENTOS URBANOS EXISTENTES EN LOS CONTEXTOS

Continuo urbano

UNIVERSIDAD

PRIVADA DEL NORTE

EDUCACIÓN

FUTURE SCHOOL

JARDÍN DE NIÑOS MICAELA HOUSE LA ALAMEDA IEP

EQUIPAMIENTOS URBANOS EXISTENTES EN LOS CONTEXTOS

Continuo urbano

MUNICIPALIDAD DE VILLA DEL MAR

OTROS USOS

COMPLEJO DEPORTIVO

TEMPLO DE TRUJILLO

MUSEO DE SITIO CHAN CHAN Vial Arterial: Av. Mansiche Estado de la via:
VIALIDAD
VIALIDAD

RED DE TRANSPORTE

DESPLAZAMIENTO:

VIALIDAD

PROBLEMA GENERAL

¿De que manera impacta el estado físico actual del monumento histórico de la huaca “Las

Conchas” en la degradación del entorno urbano?

HUACA LAS CONCHAS

PROBLEMAS ESPECÍFICOS

¿Cómo influye el estado físico actual del monumento histórico de la huaca “Las Conchasenelsectordelimitado?

¿De que manera el análisis del sector a intervenir se evidencia la degradación urbana?

¿Con cuántos equipamientos urbanos posee eláreadelimitada?

(1000-1470 d.C)

HUACA LAS CONCHAS (1000-1470 d.C)

OBJETIVO GENERAL

Evaluar de que manera impacta el estado físico actual del monumento histórico en la degradacióndelentornourbano

CAPÍTULO IV. DIAGNÓSTICO

HUACA LAS CONCHAS

OBJETIVOS ESPECÍFICOS

Determinar la influencia del estado físico actual del monumento histórico de la huaca “Lasconchas”enelsectordelimitado.

Identificar como el análisis del sector a intervenir se evidencia la degradación urbana.

Indicar la cantidad de equipamientos urbanosdeláreadelimitada.

HUACA LAS CONCHAS

(1000-1470 d.C)

(1000-1470 d.C)

SELECCIÓN DE LA METODOLOGÍA

NUESTRO PROYECTO DE INVESTIGACIÓN SERÁ

CUALITATIVO

EXTERNALIDADES POSITIVAS Y NEGATIVAS

POSITIVAS UN PLAZO APROXIMADO DE EN 5 AÑOS

Crecimiento en la economía del distrito.

Aumento del valor de los predios colidantes al E.M

Mejor atención en salud para la población del distrito .

NEGATIVAS UN PLAZO APROXIMADO DE EN 5 AÑOS

Aumento de población

Presencia del comercio vecinal en los frentes del equipamiento.

Aumento de flujo vehicular

Vías con mayor congestión

Desarrollo de la segregación de residuos sólidos.

POSITIVAS EN UN PLAZO

APROXIMADO DE 10 AÑOS

Mayor establecimiento de la población

Cambio de zonificación.

Presencia del comercio local a los alrededores

Aumento de equipamientos

Renovación vial

NEGATIVAS EN UN PLAZO

APROXIMADO DE 10 AÑOS

Mayor población genera una construcción de edificios y estructuras sin un plan urbanístico adecuado

Al no cuidar la playa de huanchaco podemos decir que habría una reducción de turismo aparte de afectar a los animales acuáticos.

Huaca las conchas

RDM - RESIDENCIA DE DENSIDAD MEDIA

E - EDUCACIÓN

OU - OTROS USOS

ZRE - EHM(a) - ZONA DE REGLAMENTACIÓN

ESPECIAL DE ENTORNO HISTÓRICO

ZRE - EHM(b)

ZRE - R (d) ZONA DE REGLAMENTACIÓN

ESPECIAL

ZRP - ZONA DE RECREACIÓN PÚBLICA

H1 - POSTA MÉDICA

I1 - lIVIANA “ZONA INDUSTRIAL (ZI)”

ZA - ZONA AGRICOLA

CZ- COMERCIO ZONAL

3 SECTORES DE ZONA DE RECREACIÓN PÚBLICA

LÍMITE A CHAN CHAN MUROS ANTIGUOS

ZONA AGRICOLA EDUCACIÓN H-1 3- EDIFICACIONES
H-1 POSTA MÉDICA COMERCIO - ESTABLECIMIENTO DE COMBUSTIBLE

ZONIFICACIÓN SEGÚN NORMATIVA

CONDICIONES MEDIAMBIENTALES

PREDOMINA LA ZONA DE REGLAMENTACIÓN ESPECIAL - DE USO RESIDENCIAL, A SU VEZ, LA ZONA DE ENTORNO HISTÓRICO MONUMENTAL Y LA ZONA AGRICOLA RESERVADA.

CONDICIONES MEDIAMBIENTALES

LLUVIAS

VIENTOS

TEMPERATURA

PELIGROS POTENCIALES

El sector se encuentra en su mayoría como peligro medio, susceptible a huaicos e inundaciones, aceleraciones sísmicas.

LLUVIAS / 10-20MM NORESTE / JULIO +MARZO / -JULIO

ZONIFICACIÓN SEGÚN REALIDAD FÍSICA EXISTENTE

MATERIAL DE CONSTRUCCIÓN EN PAREDES

MATERIAL DE CONSTRUCCIÓN EN TECHOS

TIPO DE VIVIENDA

CASA INDEPENDIENTEMULTIFAMILIAR

DISPONIBILIDAD DE AGUA

SINO

DISPONIBILIDAD DE ENERGÍA ELÉCTRICA

4 % 98 % 2 % 97 % 3 % 100 % 0 %
LADRILLO ADOBE CONCRETO ARMADO CALAMINA
SINO
AGUA
SERVICIOS BÁSICOS
COBERTURA DECOMUNICACIÓNCOBERTURA DE
POTABLE Y ALCANTARILLADO

CONCLUSIONES

Determinar la influencia del estado físico actual del monumento histórico de la huaca “Las conchas” en el sector delimitiado.

La huaca de las conchas se encuentra en estado de deterioro a pesar de formar parte de la cultura de los ciudadanos de villa del mar, no protegen de manera adecuada este monumento histórico, incluso suelen colocar basura a su alrededor o pisar este complejo árqueologico sin ninguna supervisión, lo que genera una densidad urbana y una alteración al paisaje.

Identificar como el análisis del sector a intervenir se evidencia la degradación urbana.

Se ha podido observar dentro del análisis del sector a intervenir que la mayoría de las viviendas se encuentran con infraestructura deficiente generando un incremento de riesgos o peligro para la población ya que en esta zona tiene mayores posibilidades de huaicos e inundaciones, la falta de mejoramiento viales, el mal uso de la zonificación, y que aún falta el implemento de los equipamientos.

Indicar la cantidad de equipamientos urbanos del área delimitada.

Según el análisis y comparación con Plan de Desarrollo Metropolitano el sector cuenta con 3 zonas de recreación pública de las cuales sólo existe 1, además los residentes crearon un espacio público limitante a la huaca que no está considerada en el PDM o el plano de zonificación de Trujillo, puesto que está ubicada en la zona de reglamentación especial de entorno histórico. no obstante el sector tampoco cuenta con los servicios médicos necesarios, existe una posta médica de menor envergadura que debería estar disponible y por lo menos contar con el equipamiento básico necesario para cualquier emergencia.

PROPUESTAS DE INTERVENCIÓN

COLOCAR UN CENTRO CULTURAL

Crear un centro cultural para aumentar el turisto en huanchaco conservando al mismo tiempo la huaca de las conchas.

Para la preservación y promoción de la cultura de la zona fomentando el fortalecimiento de la identidad cultural comunitaria a través de la exhibición de las expresiones culturales.

CENTRO RECREACIONAL

Mejorar el centro recreacional que se encuentra cerca a la huaca de las conchas y darle un mejor uso para las actividadesderecreación.

MEJORAR LA VIALIDAD

Cambio del pasaje vehicular con acceso directo a la huaca “Las Conchas” a un pasaje peatonal para reducir la congestión vehicular, fomentar el comercio de la zona y mejorar el entorno urbano paralaintegracióndelapoblación.

MUSEO DE SITIO

La ubicación de este museo de sitio estaría rodeando todalahuacaconlafinalidad de conservar, exhibir y difundir el patrimonio cultural

Ademáscontaríaconáreade estudio para proporcionar mayor información de esta huaca,puestoaqueescazay gracias al área de estudio, serviría como complemento en cuanto la historia de dichoPatrimonio.

Este museo de sitio es un buen motivo para insentivar a la llegada de turistas y visitas con la finalidad de aumentar el movimiento económico, cultural y social de este sector.

CAPÍTULO V. PROPUESTA

REFERENCIAS

El clima en Huanchaco, el tiempo por mes, temperatura promedio (Perú) - Weather Spark. (s. f.). Weather Spark.

https://es.weatherspark.com/y/19242/Clima-promedio-en-Huanchaco-Per%C3%BA-durante-todo-el-a%C3%B1o

Gutierrez Jave L. (2016) "Valoración y Uso Social del Complejo Arqueológico Chan Chan para el Desarrollo Sostenible de su entorno

Urbano: Caso Centro poblado Villa del Mar

https://repositorio.upao.edu.pe/bitstream/handle/20.500.12759/2915/REP_MAEST.ARQ_BELSY.GUTIERREZ_VALORACI%C3%93N.USO.SO CIAL.COMPLEJO.ARQUEOL%C3%93GICO.CHAN.CHAN.DESARROLLO.SOSTENIBLE.ENTORNO.URBANO.CASO.CENTRO.POBLADO.VILLA.MAR.

HUANCHACO.TRUJILLO.LA.LIBERTAD.pdf?sequence=1&isAllowed=y

Municipalidad Provincial de Trujillo. (2022). Plan de Desarrollo Metropolitano de Trujillo 2020 - 2040. https://www.munitrujillo.gob.pe/Archivosvirtual/Transparencia/Adjuntos/10425_portalTransparencia.pdf

ANEXOS

(Elaboración propia)

Turn static files into dynamic content formats.

Create a flipbook
Issuu converts static files into: digital portfolios, online yearbooks, online catalogs, digital photo albums and more. Sign up and create your flipbook.
Huaca las conchas by maura aquino - Issuu