Meridian Source - April 25, 2024

Page 1

Local construction picks up

All signs are pointing to a busy spring construction season in Lloydminster as National Construction Safety Week activities are underway.

Members of the Lloydminster Construction Association (LCA) are actively pursuing work on some of the 185 available projects for tender in the region from January to April listed by BuildWorks Canada.

“Things are looking very promising in Lloydminster,” said LCA president Krystal Monteith.

“I’m thinking we’re going to be busy right across all sectors, residential, commercial and industrial.

“Right now, there’s public projects underway and private projects underway, so there’s some funding from both sides which is helping things move ahead.”

The big ticket project in Lloyd is the long-term construction of the Cenovus Energy Hub as work wraps up on the new Lloydminster and District Co-op car wash and Nissan dealership on 50 Ave.

“We’ve got stuff on both sides (of the city) as well as the municipal sector is putting out projects. We’ve got a nice bit of work from each direction here,” said Monteith.

The City of Lloydminster

is also expecting 2024 to be another good year for construction following 123 permits totalling $120 million of construction in 2023.

“It’s going to be a very busy year around the city from the city perspective as well as private development,” said Mayor Gerald Aalbers.

“Talking to people and hearing from various groups that are talking to businesses, there’s an upbeat feeling. There’s a lot of things being

built and worked.”

Last Friday Aalbers revealed a retailer will be moving into old Canadian Tire store at 4215 70th Ave. following extensive renovations of the 65,109 sq. ft. space.

“It’s a huge space to see filled that I’m really excited about,” said Aalbers.

The strong list of projects follows a recent report Alberta’s construction sector added 12,767 more workers in the first quarter of 2024 compared

to the same period a year ago.

Alberta recorded 3,122 housing starts in March 2024, an increase of 55.4 per cent from the same year-ago period.

Saskatchewan housing starts in March also rose by 12.1 per cent compared to March 2023.

MLS residential sales for Lloyd in 2023 included 130 sales on the Saskatchewan side and 330 in Alberta.

CONTINUED ON PAGE 2

VOLUME 6 I ISSUE 44 Thursday, April 25, 2024 MERIDIANSOURCE.CA Colleen Young MLA for Lloydminster 306-825-5550 colleen.young@sasktel.net
and Protect
Build
GEOFF LEE STAFF WRITER Geoff Lee Meridian Source The Wellings of Lloydminster 55-plus residential project on 72 Ave. is one of many residential, commercial and industrial construction projects currently taking place in the Border City.

Have you seen Serayne Kematch? RCMP continue search for missing male

Serayne Kematch, 28, was last seen walking north of a business in Alcurve in the RM of Britannia near the intersection of highways 3 and 17 around noon on April 10.

The area has frequent traffic and investigators are asking members

of the public who may have driven in the area to check any dash cameras from between noon and 4 p.m. on April 10 for signs of Serayne.

If there is video of any pedestrians on your camera footage, please call Maidstone RCMP at 310-RCMP.

Serayne was last seen wearing black pants and two hoodies: a black hoodie with white ties worn underneath a darker grey hoodie.

The grey hoodie has a white logo on the upper left chest.

He may have also been wearing only one brown dress shoe.

RCMP are conducting ground searches of the area as it was reported to police he was going to walk back through the rural area to Onion Lake.

If you reside or own property in the area, please check any out -

buildings for signs of Serayne, such as clothing or other items.

Serayne is described as 5’9” tall, 170 pounds with black hair and brown eyes. He has a cross tattoo on his forearm.

If you know where Kematch is, or have

seen him since April 10, or if you spoke with him in the days leading up to April 10, please call Maidstone RCMP at 310-RCMP or call 911 in an emergency. If you wish to submit information anonymously, call Crime Stoppers at 1-800-222-8477.

Monteith says despite the construction growth in parts of Western Canada, local companies are scr ambling to find ways to recruit and retain workers.

She says the LCA is doing its part by promoting the trades to youth during its biprovincial Try-A-Trade day, which will bring up to 2,000 students to the Lloyd Ex on April 30 for hands-on learning opportunities.

“We show them what our trades have to offer. The schools are latching on to promoting the trades which is very beneficial for us. It’s a very promising career,”

said Monteith. “Different strategies are happening. Businesses are also working on making their businesses more attractive to employees— what can we offer to make this a better place to work.”

The City of Lloydminster has recently become part of the Rural Advantage Immigration Program’s Rural Renewal stream to attract and retain immigrant workers to rural communities.

“So there’s definitely different strategies out there trying to address the labour shortage, but I think it’s going to be on the forefront of everyone’s minds for a

little while here,” said Monteith.

She says when it comes to wages, the construction sector is definitely a good sector to be in.

Monteith expects rapid population growth, particularly in Alberta, which saw a 4.4 per cent in the fourth quarter of 2023 from a year ago, will help drive construction in our region.

“As the province grows, you are going to need more infrastructure; you’re going to need more schools, hospitals, everything and housing to keep up with our growing population,” she said.

2 MERIDIAN SOURCE Thursday, April 25, 2024
CONSTRUCTION FROM PAGE 1 MERIDIAN SOURCE STAFF File Photo

HRHS band preps for upcoming festival

It’s noisy but controlled chaos at Holy Rosary High School (HRHS) with a handful of the 587 band students amid final preparations for the Lloydminster Kiwanis Music Festival, which takes place next week at Grace United Church.

It feels more like a family than a classroom at this point, especially with the trips, they allow us to bond a lot. “

“We have the Kiwanis Lloydminster Music Festival and the Grades 6, 7, 8, 9 and senior band will be performing throughout the day as part of that,” said Aaron Sikora, one of the Lloydminster Catholic School Division’s three band teachers.

“There will be adjudicators listening to them and giving them scores, comments, remarks and feedback. We’re also excited to perform out in the community.”

Sikora explained the festival acts as the buildup of a student’s music career, which adds to the excitement.

“The older students have been practising their whole lives for this, since Grade 5 up, so they’re excited to

their sounds together and play music in their ensemble.”

For Grade 12 student Owen McFarlane, who plays the flute and concert trombone in jazz and plans on pursuing a career as a band teacher, it doesn’t get much better.

“My grandma started teaching me piano when I was three or four years old and then started playing the piano in Grade 3 or 4, and things picked up once I got involved in band,” he said, noting learning to play music at a young age has its advantages.

“There’ll be times I’m frustrated and I’ll go play something, it might not sound good, but it’s something, and it’s nice to just get it out there,” he said.

“It bu ilds skills like learning you need to work to get better at something. I wouldn’t be where I am without practising, and it teaches work ethic at the same time as music.”

McFarlane is looking forward to next week’s festival and will be playing in a trio with friends from HRHS as well as a solo with an accompanist.

McFarlane explained band at LCSD schools is something everyone should try.

“It feels more like a family than a classroom at this point, especially with the

Music and even earned himself a performance scholarship through the audition process.

“The scholarship was $3,000 per year for the first four years if I maintain a 3.0 GPA,” he said, noting the end goal is teaching music.

Speaking of trips, 50 HRHS band students are counting the days until they depart on a four-night trip to New York City on May 16. The trip will be packed full of performances and, of course, some sightseeing.

“There’s some community performances at a museum, there’s a workshop with NYU,

band trip.

“We’ve done other major trips but this will be the first to New York. We’ve gone to San Francisco, Seattle and New Orleans, and every few years we try to have a big outreach in the larger music communities.”

Sikora noted fundraising for the trip has been going well with jazz nights, a bottle drive and the sale of chocolates and mixing spoons already on the books.

“There’s been a big initiative to help students with funding.”

Thursday, April 25, 2024 MERIDIAN SOURCE 3
TAYLOR WEAVER EDITOR .................................. “LET OUR GRASS TICKLE YOUR FEET” To better serve you, we have a distributor in Lloydminster 306-937-3222 www.westwoodturf.ca SOD SAVINGS SOD SAVINGS 10% OFF BEFORE MAY 15TH Call Eric at 780-808-7471 D&E Stone Ltd.
Taylor Weaver Meridian Source Lloydminster Catholic School Division band students put in the practice time last week as they prepare to take part in this year’s Lloydminster Kiwanis Music Festival, held next week at Grace United Church.

Contractors digest safety messsage

About 150 local contractors turned up for a hard hat breakfast at Nissan Hall to promote safe digging awareness as spring construction ramps up.

When it comes to digging safely, we really want to get those live locates done and be educated on how to dig safely.

The Tuesday morning gathering in Lloyd is one of 22 breakfasts held in April by the Saskatchewan Common Ground Alliance (SCGA) safety advocate to celebrate Safe Dig Month.

“It’s a fabulous turnout. We have representatives from anyone that digs in the community,” said Shannon Doka, executive director of SCGA.

Doka says SCGA aims to ensure all Saskatchewan residents respect and understand the danger of contacting public infrastructure when they are building and digging.

There were 599 damages to services like water, power, and natural gas lines in Saskatchewan in 2022. That’s about 2.4 for every workday in the province.

The free breakfasts included a 20-minute Dig Safe video safety refresher for attendees.

“When it comes to digging safely, we really want to get those live locates done and be educated on how to dig safely,” said Lisa Kosolofski, director of Saskatchewan 1st Call.

“Before you dig you need to click or call.”

Kosolofski says failure to click before you dig could result in injury.

“You could hit a gas sign or a power line which could result in serious injury or death, but also just the disturbance to things like our fibre optics, our internet, our phone lines,” she said.

“We live in such a technologydriven world, if we disrupt those services, it’s kind of a pain in the butt.”

Astec Safety was one of the breakfast sponsors with its chief operating officer, Jeff Mulligan, pleased to see attendance was up from last year.

“We’re building momentum,” he said.

Mulligan says the breakfast is a great way to kick off summer and celebrate Dig Safe Month proclaimed by both the Saskatchewan and Alberta governments.

“There’s a lot of dollars in the infrastructure that we’ve got to protect as well as the people doing that work,” he said.

4 MERIDIAN SOURCE Thursday, April 25, 2024
Geoff Lee Meridian Source Jeff Mulligan, chief operating officer of Astec Safety, helped facilitate a well-attended breakfast meeting on Click Before You Dig safety protocols on Tuesday morning at the Nissan Hall. Roughly 150 contractors turned up for food and a safety video on digging.
..................................
GEOFF LEE STAFF WRITER

Lions roar for citizens of year

It was double deception night for recipients of this year’s outstanding citizen awards, presented by the Lloydminster Lions Club.

Teenager Marleigh Mann, named Jr. Citizen of the Year and senior Larry Sauer, Citizen of the Year, each thought they were invited to speak about pet projects at a Legacy Centre supper Monday night.

The 17-year-old Mann, who will graduate from Holy Rosary High School this year, talked about her involvement with the Beda club that earned her the award, presented by Lion Kathy Smithson.

“I was definitely surprised and I think it’s really an honour because I know how many great individuals are in our community and how many kids my age volunteer so much,” said Mann.

“I am really grateful to the Lions Club for selecting me and it really is an honour.”

The Beda, or baby club, is currently planning to make gift baskets for needy mothers to take home when they leave the maternity ward at the Lloydminster Hospital.

“We’re putting together diapers and baby wipes, stuff like that,” said Mann, who joined Beda this year after learning how active they are at school.

“I also really believe in what they were doing, which was lots for single mothers and babies, but also for some bigger humanitarian causes. I really believe in their causes.”

Sauer, who tagged off with his wife, Leanne, to talk about their organ donor experiences, was surprised to be ambushed as the Lions Citizen of the Year, but he said the recognition “feels good” nevertheless.

“I think Marleigh said ahead of me that there are a lot of citizens who have been recognized before in our community who do a lot, so to

be a part of that group is something special,” said Sauer.

Smithson also highlighted Sauer’s extensive volunteerism behind his award with his personal highlight being his 30 years as a teacher at Lloydminster Comprehensive High School.

“I loved working with young adults at the high school age, and being involved in the sporting area really helped me as an administrator at the high school,” said the retiree and former city councillor.

He and Leanne also taught in China for two years.

Ironically, Sauer was originally recruited to teach in Lloyd to play hockey for the Border Kings, whom he helped coach to win the Allen Cup in his later years.

“A lot of people got recruited for things like that. They were recruited not only to teach, but to be part of the community. I feel that’s important,” said Sauer.

These days, Sauer laces up with the Never Sweats.

He can see the net thanks to contact lenses and receiving a cornea transplant in 2006, and he and Leanne, being a donor, talked about it at the Lions’ supper.

Leanne donated one of her kidneys years ago to her sister Elaine, who is healthy and over 70 today.

“Organ and tissue donation is a big thing,” stressed Larry.

“We know it saves lives, many lives, and

the awareness has grown a great deal since 2006 when I had my corneal transplant, to this day.

“Certainly, younger people now are going ahead and taking the step to make that decision for themselves.”

Meanwhile, Mann will take the university transfer program in science this fall at Lakeland College and then attend the University of Saskatchewan in agriculture, which also has a Beda program.

“That’s pretty cool for sure,” she said.

Mann grew up on a farm and teaches 4-H, riding clinics and equine camps and helps

the Northminster community with a cemetery cleanup.

She also volunteers at the Grace United Church booth during chuckwagon races at the Lloyd Ex, prompting the question ‘Where does she find the time?’

“I think for one, my family is so supportive and they help me with everything. With 4-H, my dad helps us so much with our cattle and everything like that,” said Mann.

“I also really believe being busy helps you learn about time management. I hope that will help me in the next couple of years as I go into university.”

Thursday, April 25, 2024 MERIDIAN SOURCE 5
GEOFF LEE STAFF WRITER Geoff Lee Meridian Source Holy Rosary High School student Marleigh Mann, left, is this year’s Lloydminster Lions Club Junior Citizen of the Year, while senior Larry Sauer is Citizen of the Year. The presentations took place Monday night at the Legacy Centre.

Rotary pulls lobsters out of a hat

Lobsters saved the day at Monday’s lunch meeting of the Rotary Club of Lloydminster.

The sudden cancellation of the guest speaker led Rotarian Darryl Benson to step up and update attendees on Rotary’s upcoming Lobsterfest fundraising dinner on May 25 at the WLS Convention Centre.

Cenovus is no longer doing their Lobsterfest, so we’re hoping there’s a few folks there we can entice to come out to this event.

“We’ve changed the date,” said Benson to grab everyone’s attention.

“We’ve been the first week in May for as long as I can remember.”

Benson says the main reason for the rescheduling is the Lloydminster Health Region Foundation moved its funder from the fall to early May to avoid competition from the Rescue Squad’s Sirens and Sapphires Gala.

Benson is optimistic the new May 25 date will work out just fine and may attract some newbies.

“The one good thing about it is, Cenovus is no longer doing their Lobsterfest, so we’re hoping there’s a few folks there we can entice to come out to this event,” said Benson.

“We’re going to try it for a year or two. There’s starting to be a lot of events out there, so trying to handpick when is tough.”

The later date is also looking more favourable for lobster prices that have shot through the roof earlier

this spring, but are expected to drop in May.

“We get them fresh off the wharf in Halifax. They were pretty high last year, double what they were and this year they were triple what they were in the past,” said Benson.

“So they’re telling us it should be stabilized and there should be a bit of a price drop in May when we need them.”

Club members are selling 500 tickets at $100 a person or $800 for a corporate table of eight in person, as well as online.

There will also be door prizes and 50/50 draw ticket sales, a draw for a wheelbarrow of booze, and tickets for a smoker draw.

Sponsor packages are also available in $500, $1,000 and $2,000 amounts with CanSafe onboard as the title sponsor.

Benson told newcomers Lobsterfest used to attract up to 800 people, but he noted “it was borderline claustrophobic.

“Now, we’ve got it down to a science where we’ve got round tables and a few rectangle tables for groups that want to have that,” he said.

This year’s band is Dahlia and the Villains and a big screen will update any Oilers’ playoff game taking place that night.

Benson says the key to making Lobsterfest work is volunteers, with Charlene Rowein heading that up.

She’s looking for Rotary volunteer leads for decorating, door greeters, seating guide, liquor ticket sales and bartending, steak and lobster servers and clean-up crews

“There’s a lot to do but with many hands, it makes light work as they say,” said Benson.

6 MERIDIAN SOURCE Thursday, April 25, 2024
GEOFF LEE STAFF WRITER Geoff Lee Meridian Source Darryl Benson used the opportunity to tell fellow Rotary Club of Lloydminster members about the club’s upcoming Lobsterfest funder at the Monday lunch when the scheduled guest speaker cancelled.

Generations of history at Flint Family Farm

Be it early-morning cattle checks from the air in his Cessna 150 or hours spent combining in the field, David Flint loves being a farmer.

Things have changed so much, whether it’s the size of the hay bales, the technology, you name it. It’s unbelievable how things have changed. “

At 70 years young, the Jack-of-all-trades has dabbled in a few careers throughout his life, but his true passion has always been the farm.

A fourth-generation farmer himself, Flint was born and raised

on the family farm, located 26 minutes southeast of the Border City just north of Paradise Valley.

The history-rich property has been in the family since it was first homesteaded and he’s thankful he can work the land today with his wife, Mary, and son, Jason, who’s branched off into the unpasteurized honey business with his wife, Songshan.

“The farm was started in 1912 when my great grandfather first homesteaded here after coming over from England,” said Flint. “He was already in his 50s when he came over, one of the very few his age to make the journey.

“They built a woodframed house, which was really strange because most just had sod huts, but it was a fairly nice house for 1912, and it was the place where all of the county meetings were held. My grandfather homesteaded the quarry behind that soon after and leased the three-quarters of crown land across the road and bought 60 cows.”

All these years later, Flint Family Farms continues to operate as a cattle and grain farm with Flint looking after 100 cows and over 1,000 acres of grain and Mary piloting the semi for transport.

“I have about 100 cows, which right now is about 200 cows because I just finished calving,” he said.

Thursday, April 25, 2024 MERIDIAN SOURCE 7
TAYLOR WEAVER EDITOR
8
CONTINUED ON PAGE
Fourth-generation farmer David Flint welcomed the Source to his farm last week. Taylor Weaver Meridian Source

“Calving was good this year, the weather was really good, I had a good bull for the heifers this year; things went really well.

“I seed 1,000 acres of my own and then 250 for my son, and he

gives back labour to pay for that, and most of the bee yards are actually quite a distance from here; we have to be careful with pesticides and stuff.”

For Flint, the phrase ‘Find a job you enjoy doing, and you will

never work a day in your life’ rings true, and his passion for farming was evident from a young age.

“I’m very thankful I ended up being a farmer and was born and raised out here,” he said.

“Getting into farming

had a lot to do with my grandfather … I never liked school, it was like going to jail, and I used to spend entire days with my grandfather getting a load of hay back home, and that was a day’s work; I loved it.”

about the tractor than you do. I used to rebuild tractors; I’ve rebuilt motors on the old tractors and nobody would ever come out to the farm, and now, if we could just get things that were simpler, it would be easier.”

One thing Flint has noticed throughout his years on the farm is the ever-changing world of technology, something he’s doing a standup job keeping up with.

“Things have changed so much, whether it’s the size of the hay bales, the technology, you name it. It’s unbelievable how things have changed,” he said.

With technology causing the most headache for Flint, he explained the satisfying part of his day is checking cattle by horse or combining.

“They’re both very satisfying, but it’s all satisfying, I love all of it. I enjoy farming.”

When it comes to successfully running a cattle and grain operation, Flint explained experience can play a big factor.

and in that environment can really help,” he said.

As far as advice for future generations, Flint noted the importance of staying with the times and adapting to changes.

“When we first got married it was hard, and we worked hard then, but now that everything’s paid for, I’m in a unique situation. I haven’t bought land lately and when I recently bought a new tractor, I paid cash for it, I don’t borrow for anything anymore,” he said.

“I ’m computer-challenged,” he added with a laugh. “I actually just bought my first smartphone. I’ve had flip phones for years and I just got a smartphone a few weeks ago, and I’m not enjoying it,” he noted, laughing. FROM

“The GPS is nice; I love the GPS. You can set that, and you don’t have to drive the tractor, that’s great. Now, with technology, the dealer knows more

“Experience can play into it quite a bit. There’s just so much you have to know, so growing up on a farm

8 MERIDIAN SOURCE Thursday, April 25, 2024
PAGE 7
David Flint readies his team last week at the family farm just north of Paradise Valley. Taylor Weaver Meridian Source

n the last column, I wrote that to figure out “What’s going on?” we need to know a little about what a “Federation” is and how it functions.

We have two levels of government, each with its own constitutional authorities, we have regional representation through the Senate (in theory), with the umpire in all this being the courts.

not the Prairies.

However, as anyone who has coached a hockey team knows, each player is different and the key to success is recognizing those differences and being able to combine and apply them to execute a strong game plan.

largely federally driven, can’t be overstated. Yet that, of course, came at a terrible cost to those who were here before.

Finally, we have institutions to facilitate inter-government collaboration for those areas of shared responsibility; such as our Justice System.

The whole purpose of these arrangements is to accommodate the differences between the regions. The Maritimes are absolutely

To do that re quires each player to accommodate each others’ differences, respect them and work together to execute a winning effort to everyone’s benefit.

Our history as a country is full of examples of cooperation between the provinces/ regions and the central government to see our country develop.

In Western Canada, the impact of the CPR and European immigration, which was

As we follow the historical record we see the efforts of the provincial and federal governments to work together during the First and Second World Wars and through the Great Depression to protect and evolve what we have today.

As things became more complex after the Second World War, governments realized they had to do more to bring the country together, accommodating regional differences while at the same time enhancing the country as a whole.

Construction of Highway #1 across the entire

country is one example of such an inter-governmental effort.

But for this level of cooperation to happen, there must be the “political will” within all of the parties to work together.

The best example of this in modern times is the patriation of our Constitution in 1982.

But, as we know, not all of the Provinces’ bought into this agreement as Quebec has still not signed on to the Constitution and any future amendments aren’t likely to happen any time soon.

So much for political will and cooperation in a country that is as massive and diverse as Canada. Stay tuned for “What’s next.”

Viewpoint PAGE 10 Thursday, April 25, 2024 MERIDIAN SOURCE Editor Taylor Weaver taylor@meridiansource.ca Staff Writer Geoff Lee geoff@meridiansource.ca Marketing Consultant Andrea Allen andrea@meridiansource.ca Marketing Consultant Bailey Keebaugh bailey@meridiansource.ca The MERIDIAN SOURCE is published once a week, on Thursday. All material printed in the Meridian Source is copyright and may not be copied or reproduced without the express permission of the publisher. The Meridian Source reserves the right to refuse publication of any advertising or editorial material at its discretion. Columns and letters are the expressed view of the author and do not necessarily reflect the opinions of the Meridian Source. NEWSPAPER DELIVERY If you’ve missed a paper, to start or stop delivery, or for carrier applications, please call 306-825-5111 for information. CLASSIFIED ADVERTISING admin@meridiansource.ca We welcome letters to the editor. Letters should be 500 words or less. A name and daytime phone number is required for verification. Priority will be given to letters exclusively written for the Meridian Source. We reserve the right to edit letters for clarity, brevity, spelling, grammar, punctuation and libel. Unsigned letters will not be published. Use of pseudonyms will only be allowed in special circumstances, at the discretion of the editor and the publisher, and only if the author’s identity is known to the editor. Publication of a letter does not imply endorsement by the Meridian Source. Send to taylor@meridiansource.ca LETTERS TO THE EDITOR Publisher: Reid Keebaugh Production Manager: Amanda Richard Distribution: distribution@meridiansource.ca 5921-50 Avenue, Lloydminster, SK S9V 2A4 Phone: 306-825-5111 Toll Free: 1-800-327-3899 | Fax: 306-825-5147 meridiansource.ca Mail: Box 2454, Lloydminster, SK S9V 1W5 Hours: 8AM to 5PM Monday to Friday 2017 Marketing Consultant Cory Harvie cory@meridiansource.ca ESTHETICS HOME YOUR AD HERE EYE CARE ADVERTISE IN OUR BUSINESS DIRECTORY for as little as $15! CALL 306-825-5111 OP-ED: HOW DID WE GET HERE?
I
File Photo

Leeway from Lloyd: The secret behind the Masters

Like a lot of TV golf fans, I tuned into the Masters tournament a couple of weeks ago. There wasn’t much drama as the expected winner, Scottie Scheffler, cruised to an easy four-shot victory.

The most interesting thing about the Masters, aside from the sounds of chirping birds and oodles of greenery, is the gallery rules.

It never dawned on me in all the years I have tuned in, that the fans look and act

Stotally different from any other stop on the PGA tour, until a sports commentator brought it up the day after it was over. I checked it out online.

At the Masters, there are no cellphones, laptops, tablets, beepers and other electronic devices capable of transmitting photos or videos allowed. I never noticed that before.

In addition, there are no backpacks, bags or large purses permitted along with any kind of weapon regardless of permit.

The list of banned items includes cameras, radios,

TVs, and any noise and music-producing devices.

Electronic watches are okay, but they can’t be used to make phone calls, emails, text messaging and other photo, video or data recording and/or transmission is prohibited.

It may sound like the Masters is run by the Amish, but it’s fitting for the prestige of the event, especially compared to the drunken sailor atmosphere at the Waste Management Phoenix Open.

The Phoenix Open actually markets itself as the biggest party in golf and it has become a boozy fraternity

party for tens of thousands of people. This year a spectator fell from the 16th hole grandstand.

Guess what, a lot of the pro golfers don’t like it and why would they since they are trying to make a living and keep their nerves in check?

The Masters is all business and that means no signs, flags or banners are allowed and no food, beverages or coolers either. Did I mention there are restrictions on chairs and that includes those with armrests?

Y ou also can’t bring a ladder, a periscope or a selfie stick, and caddies have to

wear those painters’ overalls. I guess these restrictions work as TV fans like myself don’t even notice them. All eyes are focused on the golf. What a concept!

Letter to the editor: The Heart of an Immigrant

piro Kokonas, who came to Canada from Greece in 1959 and went on to found Spiro’s Family Restaurant in Lloydminster knows other immigrants come here too in search of a better life.

He decided to share that experience and his love for Canada and the different nationalities that have become part of the Canadian mosaic with a poem. This is the story my friend for everyone to hear. The story about Canada and everyone in here. We are all Canadians No matter what the breed. English, French, Indigenous. Germans, Arabs, Greeks.

So, we should not discriminate our fellow countrymen. We all should live in peace because we are all Canadians.

Canada is blessed land and here is our home. We are called Canadians no matter where we are from.

PAGE 11
April 25, 2024 MERIDIAN SOURCE
Opinion
Thursday,
STAFF WRITER GEOFF LEE File Photo

CALENDAR OF EVENTS

The Meridian Source Calendar of Events is a free service provided for non-profit organizations located within our coverage area. All events are in chronological order, as space permits and at the editor’s discretion.

Passport to YLL

To place an event, email taylor@meridiansource.ca or fax 306-825-5147

Cards, games, food, meetings and live music

BINGO IS BACK!

Bingo is back at the Moose Lodge every Monday and Wednesday. Doors open at 5:30 p.m. and play starts at 7 p.m. Must be 18 to play.

Legacy Dinner Theatre Tickets Available

Tickets are now on sale for the Legacy Centre’s 12th annual Dinner Theatre, featuring the Lloydminster Little Theatre presenting “Barefoot In The Park,” scheduled for April 25-28. Tickets are $55/person and can be purchased at the Legacy Centre.

Crib Tournament

The Dewberry Seniors Centre is hosting a crib tournament on April 27. Registration wraps at 10:15 a.m.

Spring Fling Dance

Head down to the Lloydminster Moose Lodge, 5213 57 Street, on April 27 for an

all-ages Spring Fling Dance. The dance goes from 8 p.m. to midnight with music by 1st Class Entertainment. Cost is $25 for adults, $10 for youth 15-17, 14 and under are free. Price includes a late lunch. Tickets can be purchased at the Moose Lodge on Monday and Wednesday from 5-9 p.m. or call Susan at 780-872-1871 for more details.

Meditation Night

Join Taylor Schneider with Awaken Medium for an evening of guided meditation and personal transformation. The intention for this evening is a dream state experience. Meditation night is scheduled for May 2 from 7-8:30 p.m. at 5308 57 St. Lloydminster, Alta. Tickets are $55 plus tax each and available on Eventbrite.

Flavour Festival

Flavour Fest returns to the Border City

on May 4 and will be hosted at the Centennial Civic Centre from 5 to 10 p.m. This event features live music, drinks, and food, all in one place! Vendors from across western Canada will be bringing their products for you to try, and the best part is, the event runs as a fundraiser for the Lloydminster Bobcats.

Save The Alcurve Hall Funder

Meet your neighnours at the “Save The Alcurve Community Hall Fundraiser,” taking place on May 4. Doors open at 5 p.m. and beef on a bun is at 6 p.m. Adults are $20, children 6-12 are $10, and five and under are free. Please contribute to the pot luck salads and desserts. Entertainment by the Prairie Dogs. Cash bar available. Silent auction items generously donated by local businesses and friends.

Islay Garage Sale

The Islay community garage sale, sponsored by the Islay Healthcare Authority, is being held on Saturday, May 4 from 10 a.m. to 3 p.m. Table rentals are $15 per table. For more information, please call Ruth Shaw at 780-581-5096. Lunch will be available. All donations gratefully accepted.

Potters Guild Sale

The Lloydminster Potters Guild Spring Sale is Sunday, May 5

from 11 a.m. to 3 p.m. at the Lloydminster Museum + Archives (4207 - 44 Street). Meet the artisans and shop the largest selection of hand-crafted pottery in the region. Cash, credit card and debit accepted.

Household Recycling Roundup

Formerly known as household hazardous waste roundup, the household recycling roundup is scheduled for May 4 at the Lloyd Ex from 10 a.m. to 2 p.m. This event provides residents from Lloydminster and surrounding area the opportunity to safely dispose of household quantities of hazardous waste.

Cribbage Doubles Tourney

The Lloydminster Moose Lodge, located at 5213 57 Street, is hosting a cribbage doubles tournament on May 5 at 10 a.m. Registration is from 9-9:45 a.m.; 12 games guaranteed. Cost is $25/player, which includes a lunch. Enter as a team or an individual (they will team you up). To pre-register, please contact Bruce at 780-522-6972.

500 Card Game Tourney

The Lashburn Senior Centre is hosting a 500 card game tournament on Monday, May 6 at the Senior Centre. Everyone welcome! Doors open at 12:30 p.m. and the

tournament starts at 1 p.m. Cost to play is $10, snacks and beverages are availbale for $5. For more information, please call 306821-2457. The Lashburn Senior Centre is located on Main Street beside the post office. Parking is available behind the building.

Mastering Reels and TikTok

This two part Reel/ Tik Tok course gives you every tip and trick to grow your audience, and blow up on social media platforms. Day one is scheduled for May 16 from 6-8:30 p.m. Tickets are $64.17 plus tax and available through Eventbrite. For more information, visit Eventbrite.com

Classified @ The Civic Canadian rapper and record producer Classified will be live at the Centennial Civic Centre on May 18. Tickets are $45 and available through Eventbrite.

Notorious Football Camp

Welcome to the Notorious Youth Football Camp! Join us on May 25 for a day of intensive training and skill development led by experienced coaches and CFL alumni, including Shawn Gore, Junior Turner and Adrian Clarke. The cost is $81.21 plus tax and tickets are available through Eventbrite. The training day will take at Holy

Rosary High School and will be moved indoors if the weather isn’t cooperating. For more information, check out the event’s Facebook page.

69th Annual Lea Park Rodeo

The 69th Annual Lea Park Rodeo will be held on June 7 at 6:30 p.m. and June 8-9 at 1 p.m. with the dance in the Marwayne Arena to follow at 9 p.m. on Saturday. Win a 2024 Dodge 3/4 ton. Truck tickets are $100. Call 780205-9010 or 306-8216352 for more details.

Hotel California at The Vic Juba

VaughnCo Entertainment is excited to bring the original Eagles tribute, Hotel California, to the Vic Juba Community Theatre on Sept. 20 for a 7:30 p.m.

Tickets are $60 each and available online or at the theatre’s box office. Call 780-8727400 for more info.

Taylor Swift Tribute

The Vic Juba Community Theatre is excited to bring a Taylor Swift Tribute featuring Katy Ellis to the Border City on Wednesday, Nov. 13 for a 7:30 p.m. show. Tickets are $39 each and are available online or at the theatre’s box office. Call 780-8727400 for more info.

- Have something you’d like listed in our community calendar? Email it to taylor@ meridiansource.ca

12 MERIDIAN SOURCE Thursday, April 25, 2024
There’s a global demand for responsibly produced oil.

See how Alberta will meet it.

The global energy landscape is shifting, so Canada’s six largest oil sands companies are working together and with governments on a proposed large carbon capture and storage (CCS) network.

While significantly reducing emissions from oil sands operations, CCS can help protect existing jobs across Alberta and open up opportunities in different sectors.

See our plan at PathwaysAlliance.ca

Thursday, April 25, 2024 MERIDIAN SOURCE 13
Cenovus Energy, Christina Lake

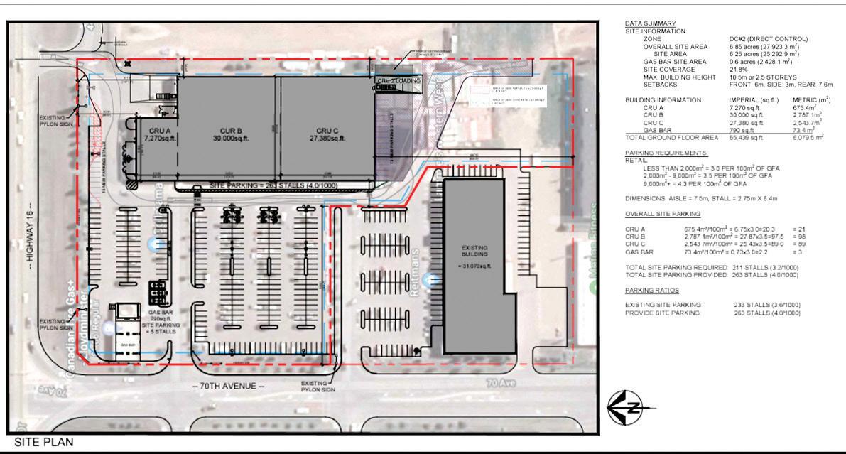
Council to discuss Cdn Tire retailer

nance and Priorities Committee (GPC) meeting agenda for April 22 and wasn’t revealed during the live-streamed discussions.

This issue will come before council on April 29.

The development permit application is located within Direct Control District 3 (DC3) zoning for multi-use commercial purposes.

Aalbers says because the location of the permit application is within the DC3, council has to approve whoever goes in, not just the planning department.

This new zoning District would allow, as

Alberta construction on a tear

permitted uses, commercial businesses typical of “power centre” developments in other cities.

“The last I heard, there’s three businesses going into the old Canadian store,” said Aalbers in an interview last Friday.

An attached site map shows the 65,109 sq. ft building subdivided into 7,270, 30,000 and 27,380 sq ft. areas.

“It will be a major project because it will be a major renovation. It sends a positive sign to the businesses adjacent to the strip mall. It’s a huge space to see filled that I’m really excited about,” said Aalbers.

Alberta’s construction sector is firing on all cylinders as spring construction is underway.

T he sector is leading the province in employment growth with 12,767 more Albertans employed in construction in the first quarter of 2024 compared to the same period in 2023. This growth has been driven by an increase in building construction investment as well as a healthy surge in housing starts in the last quarter of 2023 and into 2024.

province led Canada in population growth in the fourth quarter of 2023, increasing by 4.4 per cent from a year ago.

Alberta’s growing population is driving this trend as more people continue to make Alberta their home. The

International migration contributed twothirds of the overall provincial population gains. This was also the sixth quarter in a row that Alberta had the highest net interprovincial migration in Canada, adding 9,913 new residents from other provinces and territories in the past three months.

“The positive impacts of a growing population are being felt across our construction sector and I am excited to see this trend continue as even more skilled workers and talented professionals choose Alberta to put down roots,” said Matt Jones, Minister of Jobs, Economy and Trade in a recent statement.

Alberta’s residential and non-residential construction sectors are both projected to experience continued growth over the next decade, according to a recent forecast from BuildForce Canada.

Total construction employment expected to increase by another 14,000 workers between 2024 and 2033.

The Alberta is Calling

Attraction Bonus, introduced in the Financial Statutes Amendment Act, 2024, will is expected to help the province’s labour force keep up with Alberta’s growing economy including in the skilled trades.

“The construction industry provides rewarding careers for Albertans and for those seeking to work and live in the province. The Alberta Construction Association is pleased to see the growth in projects, investment and especially people,” said Jason Portas, chair, Alberta Construction Association.

“We are encouraged by the programs put forward by the government to attract, train and retain skilled workers in our sector. With 23 per cent of workers expected to retire by 2033, continuing collaboration between the construction industry and government will be needed to meet increasing demand,” said Jason Portas, chair, Alberta Construction Association.

Through Budget 2024, the province is investing $25 billion over three years to build needed schools, hospitals and roads in Alberta communities.

14 MERIDIAN SOURCE Thursday, April 25, 2024 THE BEST IN EXHAUST SYSTEMS SERVING LLOYDMINSTER SINCE 1991 OILFIELD & INDUSTRIAL COMPONENTS PERFORMANCE EXHAUST SYSTEMS BRAKES & SUSPENSION CUSTOM BENDING AND MORE! OUR SERVICES 5905 44 Street, Lloydminster AB T9V 1V6 | (780) 875-8851 | info@exhaustmasters.ca VISIT OUR WEBSITE! exhaustmasters.ca
A new retailer will be moving into the old Canadian Tire building at 4215-70th Ave. with a site plan showing it subdivided into three spaces.
name of the retailer was redacted on the city’s Gover
The
-
GEOFF LEE STAFF WRITER MERIDIAN SOURCE STAFF File Photo

Building investment soars in Sask

Investment in building construction in Saskatchewan has jumped by 19.4 per cent year over year, according to Statistics Canada data released last Friday.

“Our construction sector continues to see strong growth as a result of our robust economy,” said Trade and Export Development Minister Jeremy Harrison.

“The increased investment in building construction we are experiencing is helping us create more jobs, more opportunities and a better quality of life for Saskatchewan people.”

Building construction investment in Saskatchewan reached $401 million in February 2024.

Investment in building construction represents the spending value on building

construction in the province.

Adding to these encouraging figures, Saskatchewan also saw a month-overmonth increase of 96.2 per cent in the value of building permits in February 2024, compared to January 2024. This was the highest increase among the provinces.

In an e ffort to drive investment in all sectors of the local economy, the province also recently

WSA updates runoff forecast

The Water Security Agency (WSA) recently issued an update to the Spring Runoff Forecast for 2024.

Above-freezing temperatures throughout the middle of March resulted in snowmelt runoff either the beginning or in some instances being complete, over much of southern Saskatchewan.

While many areas of the province’s moisture levels remain below

normal or well below normal, such as the Border City, in many areas of the province, late-season snowfalls improved conditions. Out of the 45 water supply reservoirs across the province, 33 are currently at or are expected to be at or near full supply when the runoff is complete. Six reservoirs are expected to be in the 70 to 90 percent full range. Only six are expected to remain low (Harris, Junction, McDougald,

Downie Highfield and Roughbark reservoirs).

In mid-March, a snowstorm brought significant precipitation to a good portion of southern Alberta and southwestern Saskatchewan. Much of this area across both provinces was snow-free before this storm.

This snowfall improved the expected additional runoff volumes to some degree across Southern Alberta and southwestern Saskatchewan.

launched Securing the Next Decade of Growth: Saskatchewan’s Investment Attraction Strategy, along with a new trade and investment

How quickly the snow melts will impact how much additional runoff will be experienced in these basins. With the area being so dry before the snowfall event, if a slow melt occurs, a lot of the water will infiltrate into the soil.

Another snowstorm in late March brought 5 to 15 cm of snow across most of eastern Saskatchewan, with the heavier snow falling in the northeastern portions of the grain belt.

CONTINUED ON PAGE 16

website, called investSK.ca. Both the strategy and website will be utilized to promote further growth in Saskatchewan.

LCA to mourn fallen workers on Friday

The Lloydminster Construction Association (LCA) will cap off national Construction Safety Week awareness at this year’s National Day of Mourning remembrance at City Hall on April 26.

LCA will join the Lakeland Regional Safety Committee and local construction officials and city digni -

taries at the gathering and flag lowering this Friday to reflect on the memory of the 165 workers lost to workplace injury or illness in Alberta in 2023 and the 29 workplace deaths in Saskatchewan.

The ceremony will kick off at 9 a.m.

Next up for LCA is its AGM at the end of May followed by its annual golf tournament at Lloydminster Golf and Curling Centre on June 11.

Thursday, April 25, 2024 MERIDIAN SOURCE 15
MERIDIAN SOURCE STAFF MERIDIAN SOURCE STAFF
File Photo
MERIDIAN SOURCE STAFF

Canada had warmest winter on record

big part of this year and this winter, was (that) we were also in a very strong El Niño,” Pederson said.

10 winter season when Canada was 4.1 C above the norm.

If you thought we just had a pretty mild winter, then you were right.

This past winter was the warmest in Canada since record-keeping began, said Alysa Pederson, meteorologist with Environment and Climate Change Canada.

RUNOFF FROM PAGE 15

The river is still icecovered in North Saskatchewan and the Saskatchewan River System. Flows are slightly above the median for this time of year.

“We talk about climate change a lot, but a

“That’s what we would expect of El Niño. And then, of course, this year was a relatively strong one. We expected it to be warmer than normal and drier than normal, and that’s essentially what we saw across Western Canada.”

The average temperature was reportedly 5.2 C above the norm since Canada began keeping records in 1948. This record beats the 2009-

This year, Alberta actually fared better than Manitoba and Ontario, as both of those provinces experienced the most dramatic temperatures in the country.

The signs of the dismal winter are everywhere, with a minimal snowpack that has largely already vanished to reveal a lot of brown grass and bone-dry ground.

Athabasca River barely has any ice remaining to frost its

shores either. That’s the same situation that can be found throughout Alberta and across British Columbia as well.

“We did have a lower snowpack this year. That being said, though – in Alberta, especially – we do tend to get snow right through April and right through May as well, especially in mountain parks. Sometimes, for parts of Alberta, including Banff, Rocky Mountain House and Calgary, the snowiest month of the year is March, followed by a close second of April. We had a drier

than normal winter, of course, but precipitation only increases in the spring,” said Pederson.

From Dec. 21 to March 21, Jasper saw only 26.6 mm of precipitation. There was only one cold snap from January 11 to 15, a fiveday spell that brought temperatures as low as -41.6 C.

That was lucky, as the Polar Vortex at that time chilled other parts of the province and into the Yukon down past -50 C (including the windchill factor).

CONTINUED ON PAGE 20

A decent snowpack still exists in the Assiniboine Basin. In

With most snowpack melted in the prairie and foothills of the basin, flows are not expected to pick up until the mountain runoff occurs.

this area, ice layers were present during the snow surveys done at the end of February, and with the additional snow received over the past month, a nearnormal runoff is still expected.

The current snowpack accumulation in the Rockies currently varies significantly from well below to near normal.

The amount of runoff we see from the mountains this year will depend on the timing of the melt event as well as May and June rains. These rains can quickly change the conditions in the basin.

The high flow events we often see during these months are a result of the rainfall events.

Based on the current snowpack in the mountains and the low water supply levels in Alberta, there is a higher probability that the inflows into Lake

Diefenbaker this spring and summer will be below normal.

With the conservative winter plan implemented, the water level at Lake Diefenbaker was at 552.39 metres (m) on April 1, which is above normal for this time of year. Normal April 1 elevations are around 551.56 m.

16 MERIDIAN SOURCE Thursday, April 25, 2024
SCOTT HAYES LOCAL JOURNALISM REPORTER –THE JASPER FITZHUGH File Photo

King crowned top national college coach

If Chris King’s recent undefeated season and national women’s basketball title didn’t cause enough excitement, perhaps receiving the Canadian Collegiate Athletic Association’s (CCAA) highest coaching honour will. King, who recently wrapped his 16th season as the Lakeland College Rustlers women’s basketball team’s bench boss, was named the recipient of this year’s CCAA Coaching Excellence Award on April 17, the highest honour a college coach

in Canada can receive. With roughly 100 teams competing in the CCAA, for King and the Rustlers’ athletic department, the award is ‘kind of a big deal.’

It’s always special winning an award, but this is a big one and it’s a very cool award to win. “

“My name is on it, but it’s about (Rustlers athletic director) Alan Rogan and the athletic department tak -

ing a chance on me as a really young coach, supporting me and sticking with me this whole time. I’m also very blessed I get to coach really good players,” said King on Tuesday afternoon.

“It’s always special winning an award, but this is a big one and it’s a very cool award to win.”

King began his coaching career at Lakeland at the age of 24. Now 41, the Kitscoty native continues to achieve what he set out to do when he first started, which was to grow the local game of basketball.

be a hockey town, but our goal is to continue to spread the game. You can even see the impact the school is having in the community with more people showing support wearing Rustlers shirts etc. It’s growing, and the community pride for the school is growing.”

The CCAA coaching excellence award acknowledges coaches who have significantly impacted their teams and athletes over five or more years, with King being a shining example of success.

said Rogan.

“They won a bronze at their next nationals showing, then came back to win everything this year. Looking at the last five years, that’s a pretty solid resume.”

The award is also special for Rogan as he was the one who took a chance on the young coach. A risk that’s paid off in spades.

“There are shirts that say ‘Basketball is Life,’ and that’s pretty much Chris,” said Rogan.

“My thing has always been to grow basketball here,” he said.

“Lloyd is a hockey town, and it will always

“Throughout the last four years, Chris has won three conference championships, qualified to go to nationals three of the four years, and probably would have won a medal that first year had the tournament not been cancelled due to COVID,”

“He loves the sport of basketball, and when he was a student-athlete here, he wasn’t the star athlete, he was the guy you could do rely on to be a grinder. If you needed someone to get a foul, whatever it may be, he was the guy, and he accepted that role.

CONTINUED ON PAGE 18

Sports PAGE 17 Thursday, April 25, 2024 MERIDIAN SOURCE
Taylor Weaver Meridian Source Lakeland College Rustlers women’s basketball coach, Chris King, not only led his team through an undefeated season but also recently received the CCAA’s Coaching Excellence Award. King was selected as the top coach across all college sports in the country, with roughly 100 teams in the selection pool.
..................................

Hail to the new King of college coaching

“I think being that type of a student athlete made him a really good coach. I think some of the best coaches in sport are not the all-stars, they’re the ones that have to sit on the bench behind the all-star and analyze everything that’s happening,” said Rogan.

“They become the best coaches, and that’s Chris.”

For King, having someone take the chance and believe in his abilities went a long way.

“Rogan and the Lakeland Rustlers took a huge risk hiring myself, Austin and Taylor Dyer, and Kevin Wagner,” explained King. “We were all very young coaches and for the most part, had very little coaching experience, but Alan took the chance and helped mentor us to where we are today.

“It was risky, but it was also smart as we all now have families in town; I call it entrapment, really,” he said with a laugh.

“ For me, coaching was an obsession and I spend all day thinking about basketball to become a better coach, but

you have to learn on the fly. It takes years of gameplay and practises to figure that out, while also figuring out how to coach players.”

As for the future of Lakeland basketball, King would love nothing more than to see the Rustlers be hottest ticket in town, but looking back to the recent CCAA women’s basketball finals, they’re already attracting that kind of attention.

“I was at Monday night’s Oilers’ game and it got to 109 decibels in Rogers Place … Cody Maz from Maz Entertainment told me it also got to 109 decibels during nationals,” said King.

At 41-years-old, King isn’t sure how many seasons he’s got left, and when that day comes, he knows the team will be well looked after by his current assistant coaches, Marissa Linquist and Tori Dugan.

“Having two former players who played for me now coaching with me was a special experience,” he said.

“Getting into coaching is really tough, but now these two are getting job offers off of assistant coaching college

basketball, which has never happened in the past ... an assistant coach in college would never get an offer to go to assistant coach at a university, but I’m thrilled these guys are getting these opportunities.

“This program now feels like my baby, so when it does get passed over, it’ll be to a former player of mine. I can tell you that, if I have anything to do with it.”

Having grown up in Kitscoty, the success of this season and everything that came with it hit close to home.

“It means so much more to me winning awards and winning nationals here than it would somewhere else. It’s a special place and it has a hold on me,” he said. “I’ve been involved in this program since day one. The very first day of practise, I was there, which will make it even harder to pass over.

“It’s been a fun ride,” he said, noting there will likely never be another season or group as special as this one.

“The day after we won the national title I was already looking at recruits for next season,” said King.

18 MERIDIAN SOURCE Thursday, April 25, 2024
FROM PAGE 17
Chris King and assistant coach Marissa Linquist watch guard Alana Olson drain a three during CCAA nationals’ action. Source File Photo
Thursday, April 25, 2024 MERIDIAN SOURCE 19

Putting a value on a commercial building

I received a phone call today from a neighbour asking what his commercial building was worth, as they were planning to make a title transfer within the family.

T he value of any real estate can be simply described as what it would bring in the open

market under fair sale conditions.

Or put another way, what someone would pay to rent it to a third party thus achieving a competitive return on their investment capital.

Som etimes, owners forget there are many places for investors to place their money, therefore it is incumbent on me as a cold-hearted Realtor, to look at properties through the eyes of

potential buyers.

I automatically assume both buyer and seller will each act prudently, are motivated and well advised.

T he first step is studying the market the property exists in, estimating demand, competing supply of space, and equitable prices, sale, or lease.

The re are three traditional methods for determining value.

The end of January had a five-day warm spell that saw mercury rise to 13.1 C. A few days before the Spring Solstice, Jasper recorded a day of 20.2 C.

The El Niño was one of the strongest the

The cost approach captures the replacement of the building on a similar-sized site.

Comparable sales are the ones most used in urban residential valuation but can be problematic when applied to acreages as no two are alike.

W ith commercial structures, the price per square foot, both lot and building, is a common metric but you

planet has ever had. This will be followed by La Niña as we progress into fall 2024. Pederson said that El Niño and La Niña are considered to be a small piece of the climate puzzle. Meteorologists do, however, still consider it because it is some -

need to be cognizant of age, condition, height of walls, etc.

The third is the income approach. Let me repeat that principle. Does the present or anticipated income justify what is being paid?

This is achieved by converting true annual net income into property value by utilizing the local market’s traditional return on invest -

thing that they can predict, and it has shown scientific trends in what the weather patterns over our area are.

She looked at the last few times that there was a strong El Niño and how they fared for precipitation, and it gives her some opti -

ment. Also called capitalization.

T he bottom line, the capital value must be supported by the remaining economic life and future earnings of the property.

A nd of course, location is key. As is municipal zoning, interest rate changes, inflation, recession, maintenance, and the list goes on.

Most appr aisals will attempt to rationalize all three approaches together into a single statement of value.

T o me, common sense observation of the market is key. Spidey sense, while difficult to describe, can be invaluable.

V ern McClelland is an associate broker with RE/MAX of Lloydminster and an active partner in his family’s livestock operation. Comments on this article are welcome either by emailing vernmcclelland@remax.net or calling 306-821-0611.

mism for the possibility of spring rain.

“All of those years did indicate in Alberta a normal to above normal precipitation for the spring,” Pederson said.

“There’s a little bit more confidence in that as we make this transition here this year.”

Careers PAGE 20 Thursday, April 25, 2024 MERIDIAN SOURCE
MIDWEST MINUTE VERN McCLELLAND File Photo WARM WINTER FROM PAGE 16

MERIDIAN SOURCE 306-825-5111

admin@meridiansource.ca

Classifieds

FORAGE SEED FOR SALE: Organic & conventional: Sweet Clover, Alfalfa, Red Clover, Smooth Brome, Meadow Brome, Crested Wheatgrass, Timothy, etc. Star City, SK. Birch Rose Acres Ltd. 306921-9942.

EMPLOYMENT OPPORTUNITIES

GET YOUR MESSAGE

SEEN ACROSS Alberta.

The Blanket Classifieds or Value Ads reach over 600,000 Alberta readers weekly. Two options starting at $269 or $799 to get your message out! Business changes, hiring, items for sale, cancellations, tenders, etc. People are increasingly staying home and rely on their local newspapers for information. KEEP people in the loop with our 90 Weekly Community Newspapers. Call THIS NEWSPAPER now or email classifieds@ awna.com for details. 1-800-282-6903, 780434-8746 X225. www. awna.com.

HEAVY EQUIPMENT OPERATORS

Motor scrapers, dozers, excavators, rock trucks, packers; wide range of machines.

Lots of work all season. Camp/R & B provided. Competitive wages.

Valid drivers license req’d.

Send resume and work references to: Bryden Construction and Transport Co. Inc. Box 100, Arborfield, SK S0E 0A0;

Fax: 306-769-8844

Email:

brydenconstruct@ xplornet.ca

www.

brydenconstruction andtransport.ca

BARLEY

*New - AB StANdSwell* Smooth awn, high yielding, grain and forage great lodging reSiStance

1St NitrogeN uSe efficieNt cereAl iN cANAdA cerveza, eSma cdc auStenSon, cdc maverick, Sundre

wheAt Pintail, forage or grain

oAtS ac JuniPer, ac morgan, ac muStang, derby, cdc So1 SuPer oat

PeAS very early yellow Pea forage PeaS, AlSo AvAilABle

PoliSh canola & SPring triticale mastinseeds.com 403-556-2609

WE BUY

DAMAGED GRAIN

HEATED... LIGHT

BUGS... TOUGH

MIXED GRAIN

SPRING THRASHED

WHEAT... OATS

PEAS... BARLEY

CANOLA... FLAX

“ON FARM PICKUP”

WESTCAN FEED & GRAIN

1-877-250-5252

CRIMINAL RECORD? Why suffer employment/licensing loss? Travel/business opportunities? Be embarrassed? Think: Criminal Pardon. US entry waiver. Record purge. File destruction. Free consultation. 1-800347-2540. www.accesslegalmjf.com.

PROVINCE-WIDE CLASSIFIEDS. 49 local community newspapers, distributing to over 450 communities, including 14 cities. Reach over 550,000 readers weekly. Call 306- 649.1405 or visit www.swna.com for details.

BIRTH ANNOUNCEMENT

Tami Noeth and Kevin Jimmy of Lloydminster are proud to announce the arrival of their son, Dreko James Boniface Jimmy, 9 lbs 13 oz, 22 ¼” was born April 6, 2024, in Lloydminster.

BUSINESS OPPORTUNITIES

COMING EVENTS SERVICES NOTICES

BLANKET THE PROVINCE with a classified ad. Only $269/wk (based on 25 words or less). Reach almost 80 weekly newspapers. Call NOW for details.

1-800-282-6903 Ext 225; www.awna.com.

Find QUALIFIED, LOCAL EMPLOYEES, using the strength of community newspapers! Visit www.swna.com or call 306-649-1405 to find out how! ALBERTA

In House Trucks, In House Excreta Cleaning. Vac Rental. 1-888-4838789.

FIREARMS WANTED FOR OUR 2024 AUCTION PROGRAM: Rifles, Shotguns, Handguns, Antiques, Militaria, Collections, Estates, Single Items. For Auction, or Possible Purchase: TollFree 1-800-694-2609, Email Us at sales@ switzersauction.com or Visit Us @ www.switzersauction.com.

WHITE SPRUCE TREES: 5’ average $50. Installation ONLY $19. Includes: hole augered, Wurzel Dip enzyme injection, bark mulch application, staking. Minimum order 25. One-time fuel charge: $150 - 200. Crystal Springs. 403-8200961. Quality guaranteed.

PAGE 21
Thursday, April 25, 2024
MISCELLANEOUS HEALTH WANTED FEED AND SEED FEED AND SEED FEED AND SEED FOR SALE
Buying Oats, Barley, Wheat, Canola, Peas, Screenings, Mixed Grains. Dry, Wet, Heated, or Spring Thresh. Prompt Payment.
FEED GRAIN:
Church Directory 3” wide version BROAD REACH at an AFFORDABLE PRICE with a combined circulation of over 650,000 for only... Value Ad Network Alberta Weekly Newspapers Association toll free 1-800-282-6903 x225 email classifieds@awna.com or visit your community newspaper $799 Advertise Province-wide plus GST Ask about the PAYING HIGHEST PRICES To arrange a free, discreet in-home visit Call Joy or Ted 825-966-4373 WANTED Bondedsince1967 Canadian Prairie Pickers Turn your GOLD & SILVER into Spendable Cash $$$ GOLD SILVER Pre-1968 silver coins, rolls, bags or boxes, Royal Can. Mint sets, silver bars. Unused or unwanted chains, rings, jewelry, coins, bars. $$$

Brought to you by your Meridian Source Psychics

April 21 - April 27

ARIES

This week prepare for frustration and impatience, everything will seem to slow for you. “What’s your hurry?”

TAURUS

Allow some time to rest, spring is coming and you will be catching up on your to do list.

GEMINI

Spring 2024, remember you said last year less owers!!

Oh you forgot!! Okay, get lots then!!!

CANCER

This week will feel like you can come out of hibernation, sun, heat, fresh rain. Your mood will positively change.

LEO

At work this week you will feel like your efforts go unnoticed, hang in there, theres gratitude coming!!!

VIRGO

Virgo, quit stepping outside yourself to please others. Real friends will accept you for YOU!!! Don’t Change.

LIBRA

Keep pushing yourself this week, only you can achieve your goals, it might take time but DON’T QUIT!!

SCORPIO

Maintain rm boundaries this week, keep true to yourself, what you stand for and whats in your best interest.

SAGITTARIUS

Remember you work hard and you deserve “some” relaxation. Don’t put off all your chores this week.

CAPRICORN

Start planning this week for your summer holiday, make a list, get prepared early, don’t want to forget anything.

AQUARIUS

As life moves in all directions, pick the one that is best for you, make yourself happy rst, you are #1.

PISCES

This week spend it, right now it may not feel like a viable investment, but think a little into the future. It will be amazing.

Thursday, April 25, 2024 MERIDIAN SOURCE 23
4, 4810 62 Ave | 780-874-5958 | intialstichessigns.ca
Bay
coldwellbankercitysiderealty.com www.coldwellbankercitysiderealty.com facebook.com/coldwellbankercitysiderealty instagram.com/coldwellbankercitysiderealty 3812 - 51 Avenue, Lloydminster, AB T9V 3M7 780-875-3343 Each office is independently owned & operated. Brad Gilbert Broker (AB) Rick Schesnuk Realtor® Brandon King Residential Realtor® Caleb McLean Associate Broker Sandy Hardy Realtor® Judy Bexson Realtor® Jennifer Gilbert Broker (SK) APPLY ONLINE TODAY RENTAL OPPORTUNITIES CONSIDER THE TRANQUILLITY OF AN ACREAGE AFFORDABILITY IN THE BORDER CITY! A PLACE TO GROW YOUR BUSINESS 5651 - 43 St. 6608 - 42 St. 5202 - 49 St. 2107 - 52 Ave. ALBERTA MAY 1 READY! READY! MAY 1 2 Bed, 1 Bath 2 Bed, 2 Bath 2 Bed, 2 Bath 5 Bed, 3 Bath $900 $1200 $1400 $1950 4801 - 47 Ave. 4008 - 41 Ave. SASKATCHEWAN JUN 1 MAY 1 4 Bed, 3 Bath 3 Bed, 2 Bath $1250 $1300 SK $429,000 MLS A2114567 SK $425,000 MLS A2066759 SK $399,000 MLS A2084847 SK $377,000 MLS A2070377 AB $323,880 MLS A2104973 SK $340,000 MLS A2074376 AB $180,000 MLS A1237024 AB $259,000 MLS A2109560 SK $759,000 MLS A2065793 AB $379,900 MLS A2121062 AB $312,000 MLS A2121344 SK $237,500 MLS A2111944 AB $110,000 MLS A2112705 SK $346,500 MLS A2121065 SK $577,500 MLS A2065797 SK $59,900 MLS A2101009 SK $50,000 MLS A2121478 SK $164,500 MLS A2066024 SK $99,900 MLS A2049089 SK $144,500 MLS A2022315 AB $13.50 sq. ft. MLS A2055846 AB $9.50 sq. ft. MLS A2037491 AB $10.00 sq. ft. MLS A2113439 AB $12.50 sq. ft. MLS A2037478 MAIDSTONE PARADISE HILL LASHBURN TURTLE LAKE BRIGHTSAND LAKE MAKWA LAKE NE-PT-14-54-20 W3RD VALUE IN THE LAND MAIDSTONE PARADISE VALLEY KITSCOTY 55023 RGE. RD. 3281 327467 TWP. RD. 510 ST. WALBURG MAIDSTONE PLAZA 44 - #128 PLAZA 51 - #4 PLAZA 44 - #124 HOME AWESOMENESS INGENUITY EXCELLENCE $755,000 MLS A2077820 DEVONIA INDUSTRIAL PARK AB $735,000 MLS A2077810 AB $549,000 MLS A2024177 HWY 17 S FRONTAGE PLAZA 44 - #116 SOLD

Turn static files into dynamic content formats.

Create a flipbook
Issuu converts static files into: digital portfolios, online yearbooks, online catalogs, digital photo albums and more. Sign up and create your flipbook.