LINK Kenton Reader - Volume 3, Issue 31 - June 27, 2025

Page 1


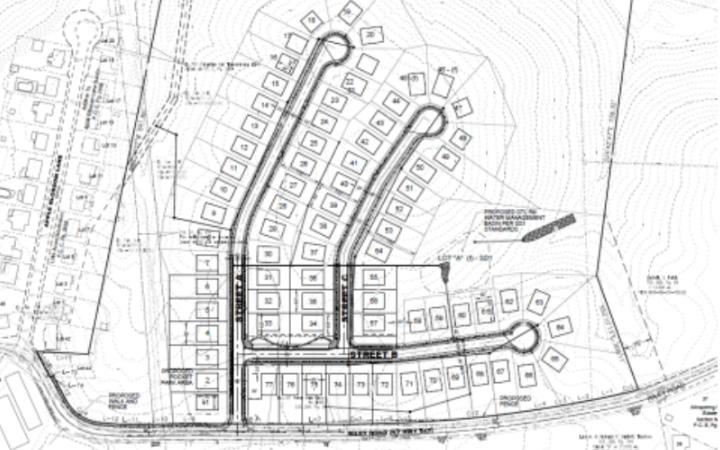
Drees subdivision in Alexandria wins key vote

Plans to build 77 new single-family homes near Riley Road have moved forward despite residents’ concerns over traffic, wildlife and density.

Drees Homes is looking to build a subdivision north of approximately 37 acres on Riley Road, east of Apple Blossom Lane in Alexandria. At a June 17 meeting, the Alexandria Planning and Zoning Commission unanimously approved the Stage 1 development plan.

The homes are all intended to be single-family. The site is currently zoned residential, and the developer is proposing to apply a residential conservation development for the design. The plans include open spaces, including a pocket park and walking trails. Drees anticipates more than 30% of the development to be green space.

“We’re excited when we found a piece of land and talked to the owner to find a piece that fits the underlying zoning, fits the comprehensive plan and really matches what we see as demand for the area,” said

Continues on page 3

Newport goldsmith brings heirlooms back to life

Wayne Webster is proud that people trust him to breathe new life in their family heirlooms.

Webster, 33, is a goldsmith, a skilled artisan who creates, repairs and modifies jewelry, watches and other precious items. He is the proprietor of Wayne & Co. Goldsmiths, at 635 Monmouth St. in Newport.

In a conversation with LINK nky, Webster said he works on irreplaceable pieces – often one-of-a-kind heirlooms that hold tremendous sentimental value and historical significance for the people who own them.

“A lot of my business is these family pieces that are irreplaceable,” he said. “Even if I

could make them, you know, 100% the exact way, it’s the history behind those pieces that can’t be replaced.”

After a stint repairing jewelry at a store in Hebron, Webster took up goldsmithing in 2014. What drew him was the opportunity to work with his hands, solving complex problems in real time. Webster opened his store in February after going independent in 2022.

“I really liked working on small things, but I like fixing things,” he said. “I like the problem-solving aspect of it, so I got hooked.”

He chose Newport because of its reputation as a tight-knit community, feeling that his shop would fit in well among the eclectic mix of artisans, fitness studios, restaurants and offices on Monmouth Street.

Continues on page 4

The plan of Drees Homes’ proposal for a new subdivision off Riley Road in Alexandria. Provided | Campbell County Planning and Zoning
Wayne Webster sits behind his workbench at his shop on Monmouth Street in Newport. Photo by Kenton Hornbeck | LINK nky

PRESIDENT & CEO Lacy Starling

EXECUTIVE EDITOR Meghan Goth

SPORTS EDITOR Evan Dennison

LINK nky Kenton Reader is published weekly by LINK Media LLC, 31 Innovation Alley, Covington, KY 41011.

Periodicals Postage Paid at Covington, KY.

POSTMASTER: Send address changes to LINK nky Kenton Reader, 31 Innovation Alley, Covington, KY 41011. ISSN 3064-7460

859-878-1669 | www.LINKnky.com

HAVE A TIP? News@LINKnky.com

WANT TO ADVERTISE? Marketing@LINKnky.com

WANT TO SUBSCRIBE?

Send a check for $58.30 ($55 non-auto-renewing rate plus 6% Kentucky sales tax) to LINK nky

31 Innovation Alley, Ground Floor Covington, KY 41011 or scan this QR code below

Love what we're doing? Want to support public-interest journalism in Northern Kentucky? Make a tax-deductible donation to support our work. Scan the QR code below, or mail a check payable to the Northern Kentucky Community Journalism Fund to 50 East Rivercenter Blvd. Suite 431, Covington, KY 41011.

No part of this publication may be used without permission of the publisher. Every effort is made to avoid errors, misspellings, and omissions. If, however, an error comes to your attention, please let us know and accept our sincere apologies in advance.

Continued from page 1

Matt Mains, development manager with Drees Homes. “Kind of a perfect fit.”

Mains said the company anticipates two to three phases for the project. The first will start up the first straight cul-de-sac. He said the company expects to start work over the winter and pave next spring.

Subsequent phases would be based on demand. Mains estimated the entire project to take roughly five years. The homes will be 2,000 to 3,500 square feet and range from $360,000 to $550,000.

Drees is a build-to-order builder: It prepares lots for sale, and then customers choose the footprint and style of the house to be built.

Traffic, wildlife concerns

Numerous residents spoke at the meeting with concerns about traffic and conditions on Riley Road, including the amount of tractor-trailer traffic on the road.

Riley Road resident Dean Hedger said he has lived in Alexandria for 55 years and grew up on Apple Blossom Lane.

“My biggest concern is the road, because [the] road’s falling in,” Hedger said. “The truck traffic is horrendous. We’re talking about tractor-trailers coming up the road; they are tremendous. You’re not going to stop building. It’s not going to happen, but do whatever it takes to make it better for people that do live here.”

Mayor Andy Schabell said during the meeting that he has vowed to work with two Camp Springs residents spearheading an effort to ban tractor-trailers on Ky. 547 or Riley Road. Shabell said he, along with the council and the two residents, has the support of state Sen. Shelley Funke Frommeyer and state Rep. Mike Clines, both Republicans from Alexandria, to petition the state.

“We’re doing everything we can, and I vowed to those gentlemen who have been to two of our council meetings that I will do everything I can to support them, and I believe we have the full support of our city council on that as well,” Shabell said.

Apple Blossom Lane resident Mary Runyon said at the meeting she was concerned about wildlife displacement.

“I like the deer. I like my hummingbirds. I like my squirrels. I like my raccoons. Pretty soon, there’s not going to be a tree in Alexandria for a bird to build a nest in,” Runyon said.

The proposal has 60-foot lot widths and a density of 2.1 homes per acre. Riley Road resident Ryan Hill criticized the number of homes and the proposed lot sizes. Hill said the 13 to 14 houses with their backs turned to the road would make Riley Road look like “an alleyway.”

“Your city emblem, ‘Where the city meets the country,’ you should change it to ‘Where the city eats the country,’” Hill said.

Mains said not everyone will agree with the development, and not everyone will necessarily want to live in it.

The subdivision site development plan. Provided | Campbell County Planning and Zoning

“It’s not for everyone to live in,” he said. “There’s a severe housing shortage in Northern Kentucky, in this area, in the county, and so this gives us the ability to maximize the potential of the land, put the houses on, make them more affordable.”

Earlier in June, the city’s planning and zoning commission approved a 46-lot subdivision by D.R. Horton Inc. on 31 acres at 1671 Grandview Road.

Drees’ site plan also includes a fence along Riley Road. The developer requested a variance to make the fence four feet high, but that was denied; as a result, it will be three feet high.

Along with the approval for the site plan, the commission is requiring the developer

to create breaks in the fence for wildlife to pass through, extend sidewalks on the outskirts of the project down Riley Road and cut back vegetation for any line-of-sight issues along the development.

Some of the planning and zoning commissioners said during the June 17 meeting that they would like to deny the subdivision development, but it legally meets the zoning requirements and the city’s comprehensive plan.

“I’d love to be able to confidently say no to this in some way, just because I feel like the more and more developments that we’re getting, I’m realizing that there may be something we revisit in our comprehensive plan,” Commissioner Sam Ruebusch said.

Continued from page 1

“I just thought maybe there was something I could bring to the community, especially something down this way, where I can do everything by hand,” he said. “As old as Newport is, there’s a lot of pieces sitting around that they don’t really have somewhere they can take it to.”

Jerry Peluso, Newport’s former mayor and co-owner of Peluso’s Market, believes Webster offers a unique service to the community by revitalizing a craft that had been dormant locally.

“As a business owner that’s been on the street for many years, not only is it a cool business, but it’s a very unique business that the city should be very happy to have, because, you know, that’s a craft that you very seldom see,” he said.

Goldsmithing has faded from prominence over the past few decades, explained Webster. Locally, from the early to mid-20th century, there were a number of goldsmiths working on-site at independent, family-owned jewelry stores in cities across the region.

As time went on, independent goldsmiths faced increasing competition from jewelry store chains like Jared and Zales, in addition to the outsourcing of jewelry design and production to foreign countries. This led to a decline in the number of goldsmiths as professionals aged out of the field. For Webster, this vacuum presented an opportunity.

Sitting in his shop surrounded by ring-sizers, hypersonic cleaning machines, handcrafted workbenches and a large laser welder, Webster is in his element.

“It’s a unique trade in that it’s part artisan, part trade and part engineer, because you have to have a little bit of knowledge on everything, especially on the material side,” he said.

Learn more

For more details about Wayne Webster’s services, contact Wayne & Co. Goldsmiths at:

• 635 Monmouth St., Newport

• 859-671-0975

• waynegoldsmiths.com

Parish Kitchen, partner ministries hope to expand

Catholic Charities is planning a large multipurpose expansion at the site of the Parish Kitchen, a well-known food ministry in Covington.

condo. First fl oor covered, assigned parking. Beach towels, cart, chairs & 2 bicycles. Pricing & availability upon request.

For more information, contact: angie@earlfranksflooring.com

The expansion will augment not only the Parish Kitchen, but also two other ministries associated with Catholic Charities, a mobile food pantry called Food for Friends and Pickett’s Corner.

“It’s building for the future,” Chris Goddard, Catholic Charities’ executive director, told LINK nky.

Parish Kitchen provides daily lunches for people in need, while the mobile food pantry delivers a week’s worth of food once a month to residents in six rural counties surrounding Northern Kentucky.

Pickett’s Corner refurbishes, repairs and redistributes bicycles in the community.

The expansion will add a 25 foot by 30 foot facility to the Parish Kitchen building to store the mobile food pantry’s truck. It also will feature a covered patio for bike repairs as well as a loft for storing donated items. The patio would also serve as a space for volunteers to interview guests.

“We are in desperate need of additional storage,” Goddard said. “So this would accommodate that, allowing us to store things like sleeping bags or blankets, seasonal items, donations that are given to us that we just have no room [for].”

The Parish Kitchen serves approximately 50,000 meals annually, according to Catholic Charities. Pickett’s Corner, meanwhile, has distributed over 800 bikes since its 2022 inception, and the mobile food pantry has delivered meals to approximately 17,000 people in the past fiscal year.

“Parish Kitchen means so much to me and the community,” one guest told Catholic Charities, who shared the statement with LINK nky. “They have always been a warm, friendly face that helps the community.”

Catholic Charities is raising money to help fund the expansion. If they’re able to reach $50,000 in donations from the community by June 30, the entire $50,000 will be matched by well-known local philanthropist Oakley Farris. The campaign still needs about $17,000 to reach that goal.

The ministries serve anyone who needs help, regardless of their background, religion or otherwise. As such, said Jennifer Abdrabbo, Catholic Charities’ institutional advancement associate, it takes a village to support services like those offered in the three ministries.

“It takes the community to provide for an organization like this,” Abdrabbo said.

You can support Catholic Charities’ expansion efforts by donating online at secure.qgiv.com/for/pk5c.

Learn more about the three ministries and their work at covingtoncharities.org.

Renderings of the proposed multipurpose room addition to Parish Kitchen. Images provided by Catholic Charities
A volunteer, right, and guest at the Parish Kitchen. Photo provided by Catholic Charities

City Heights hilltop property for sale

The land that formerly contained City Heights, a large public housing complex in Covington, has officially been put on the market.

The Housing Authority of Covington, which owns the land, announced June 18 that it was seeking proposals from developers to buy and develop the land into what it described as a “vibrant, walkable, mixed-use neighborhood.”

“Our mission is to provide housing that people are proud to call home, no matter what their income, and this will help us do that,” said Steve Arlinghaus, the housing authority’s executive director, in the announcement.

City Heights, originally called Ida Spence Homes, began operating its 366 units in 1953. The land on which it sat encompasses about 76.5 acres atop a hill between Madi-

son Avenue and Highland Pike.

Federal authorities officially approved closing the complex in 2021. A city news release from October of that year characterized the units as “severely deteriorated, outdated, and beyond saving.” The complex was the largest publicly owned housing project in Northern Kentucky. The complex’s final tenant moved out in April 2024.

Following the federal government’s OK, the housing authority began relocating tenants to other subsidized housing throughout the city and region.

“In total, eligible City Heights families received more than $270,000 in financial assistance for their moves through the agency’s relocation process, averaging between $1,100-$1,700 per family based on household size,” according to a letter penned last year by Arlinghaus. “Many families received financial assistance through federal ARPA funds, administered by the city

of Covington, to pay for outstanding utility debt. In total, nearly $50,000 in ARPA funds were provided to eligible families.”

The housing authority hopes to select three finalists from among the redevelopment proposals and ask for more detailed plans, which would include site and building plans and elevation layouts, by October. Proceeds from the land’s sale will be reinvested into the authority’s other properties, Latonia Terrace and Golden Tower. Elevator and leak repair are slated at Golden Tower, which serves largely as senior housing, while windows, bathrooms, kitchens and flooring are to be upgraded at Latonia Terrace.

Reconnecting to city

The housing authority contracted with Cincinnati-based Yard and Co. to help market the site and seek public input through neighborhood meetings, community surveys and focus groups. It also sought input

Eggs ‘N Issues Driving Growth through the NKY Food & Beverage Scene

from the city.

Due to its hilltop location, City Heights always “felt like an island,” said Yard and Co.’s principal, Kevin Wright. As a result, he said public input emphasized the need for the site to become well connected with the rest of the city, not “just a gated community up there.”

As such, the housing authority said it was seeking developers that could turn the land into a mixed-use area, ideally one that was walkable, with a variety of housing types and commercial spaces. The announcement also stated it was seeking developers that would “preserve as much as possible the unique character of the site, including the surrounding tree canopy, the topography and viewsheds of the Cincinnati skyline and river valleys.”

Interested developers can submit proposals at redevelopcityheights.com through July 31.

for a compelling panel discussion featuring industry leaders from the bourbon, brewery, and culinary sectors—each of whom has recently made significant investments in Northern Kentucky. Panelists will share their perspectives on why they continue to grow in the region, the current state of their industries, and what the future holds. The conversation will also explore how food and beverage play a vital role in attracting and retaining talent, contributing to the region’s continued economic development and vibrancy.

Tuesday, April 15 7:30 - 9:00 AM

GARY HOLLAND
One Holland Group
TONY MILBURN Wenzel Whiskey
City Heights in Covington in 2022. The last tenants moved out in spring 2024, and the city is seeking proposals to redevelop the land. Photo by Meghan Goth | LINK nky

kenton county briefs

Kentucky, Ohio unveil design for

companion Brent Spence bridge

Governors Andy Beshear and Mike DeWine released a video June 18 showing off the design plans for the Brent Spence Bridge’s planned companion bridge.

“The design selected is a state-of-the-art, double-decker bridge that prioritizes safety, efficiency and cost as well as getting this project done as fast as possible for our people,” said Beshear in the video.

Both still images and 3D renderings were released, showing the bridge from both the Kentucky and Ohio sides.

In the video, DeWine points out that traffic headed north into Ohio would be on the top level of the bridge, while southbound traffic flowing into Kentucky will be on the bottom deck.

“That’s going to give people, I think, a great view of the skyline of Cincinnati,” said DeWine in the video. “It’s gonna be, we believe, a really iconic bridge, people are going to be very happy with how it looks, and the most important thing, obviously, is functionality.”

The double-decker bridge features a cable-stayed, independent deck design. According to a news release, the bilevel bridge does not use traditional steel trusses for support; rather, both decks are supported by the cabling system, similar to bridges like the Abraham Lincoln Bridge in Louisville.

The release says the Ohio Department of Transportation and Kentucky Transportation Cabinet decided on the design based on visual and aesthetic criteria, including how it fit the surroundings, the visual connection to the existing Brent Spence Bridge and the “potential to become a recognizable regional landmark.”

The design also underwent technical review and wind testing, the release says.

“Ultimately, cost, constructability and schedule were the deciding factors in the selection of the bridge type,” reads the release. “Compared to the other options considered, this design is lower in cost and easier to build.”

It’s still unclear when work will begin on

the Brent Spence Bridge Corridor Project, which is still in the design phases. The release says that, now that the companion bridge’s design has been selected, “the project team will continue refining project and design details.”

The design-build team also will continue to advance the project toward final engineering and construction phases.

The Brent Spence Bridge project aims to update the existing bridge while building a new bridge. When completed, officials said the new bridge will carry interstate traffic for I-71/75 while the Brent Spence Bridge will predominantly shoulder local traffic.

In January 2023, President Joe Biden and other lawmakers visited Covington to celebrate the roughly $1.635 billion in funding the Brent Spence Bridge Corridor project received from the Federal Infrastructure Law, signed by Biden in November 2021.

The total cost of the project was estimated to be around $3.6 billion as of last year.

Covington Schools moves planning to next stage

Covington Independent Public Schools’ reassessment of its facilities has entered its next phase, shifting from analysis by professional consultants to actual decision-making about either closing some schools or reorganizing the district.

The assessment began following a proposal from district staff in 2023 to consolidate some of the district’s elementary schools. The board of education heard a presentation June 12 from the contracted architects, SHP. No official action was taken, but board President Tom Haggard emphasized that this signified a transition in the process.

This proposal proved to be unpopular among district families, however, and the board eventually tabled a vote on the proposal to explore alternatives.

The district contracted with architectural firm SHP to lead the planning process. Starting in early 2024, SHP began gathering information about the district through community focus groups and the establishment of a community advisory team, which met six times between April 2024 and January 2025.

The process explored the values and aspirations of community families (and their students) and also assessed the potential financial implications of various proposed changes. Additionally, SHP also assessed each building’s effectiveness as an instructional facility and assigned them numerical scores. Other assessments included projections on overall student enrollment, which are still predicted to decline.

Several insights came out of the process: First, families advocated for full-day preschool service across the district. Second, while some leaned preferred closing 9th District, about half of those who took part in the process did not want any elementary schools to close.

Additionally, families generally expressed a desire to keep the district’s current neighborhood-based structure, rather than converting to specialty academies focused on particular subjects, like STEM or the arts. As an alternative, there was a desire among district families for what was dubbed an innovation hub at the Holmes campus, where students could study in-demand jobs in technology and science that weren’t offered in conventional classrooms.

The board held a working session in February to examine what SHP had found through the process and consider options. That session came away with a handful of ways the district could reorganize. SHP presented three new options on June 12, based on feedback they’d received in February. Several options featured the closure and repurposing of the 9th District into a preschool program.

The board and planning committee will continue discussing the future of the district’s facilities at future meetings.

“It’s not the end of this,” Haggard said at the meeting. “It’s really SHP passing on the baton to us now so that we can really figure out what it is that we want to do. It would fall to [the] planning committee to really start taking a lot of this and figuring out what does it really mean, and what’s the timing of this going to be? How do we do some of those logistical things?”

The planning process has been going on for over a year. The proposal presented to the board in 2023 called for the closure of 9th District Elementary and the redistricting of its students to curb costs amid declining student enrollment.

Duke Energy, Covington back in state court amid ongoing lawsuit

A federal judge has ordered a lawsuit between the City of Covington and Duke Energy to be returned to state court this month, ruling that Duke had failed to demonstrate that federal law was at issue in the case.

The lawsuit centers on a dispute between the city and the company regarding whether the company is required to enter into a formal franchise agreement with the city. The results of the case could have ramifications for the state of the city’s infrastructure in the future.

A rendering of the Brent Spence companion bridge. Provided | Ohio Department of Transportation
Holmes High School could be the site of an innovation institute under a planned district reorganization. Photo by Hailey Roden | LINK nky

Jon Moore | Unsplash Franchise agreements are contracts between utility providers and cities. They usually entail a city charging a fee in exchange for allowing the company to work and maintain its equipment on public streets. The city has argued in the past that Duke has been difficult to work with, especially as it relates to subcontractors, such as Spectrum, piggybacking onto Duke’s infrastructure.

“Those companies then effectively operate in secret within Covington and are able to evade paying required taxes and fees like everyone else,” the city alleged last year. “Duke’s refusal to provide this simple information also delays streetscape projects and residential and commercial development, leading to increased wear and tear on vehicles, more traffic congestion and increased construction costs.”

The city first filed suit against Duke with the Franklin County Circuit Court and the Kentucky Public Service Commission, which is responsible for setting utility rates in the commonwealth, in November. The previous Covington City Commission voted on Oct. 22 to allow the city’s legal department to begin the process of bringing suit against the company.

“Regardless of the outcome, the legal fight will have zero effect on customers’ rates and the availability of electric service,” according to a November city news release that announced the lawsuit.

The city passed a requirement for franchise agreements in May of last year and approved a franchise agreement with Owen Electric Cooperative in October. Most city residents use Duke Energy for their utilities, although some residents of South Covington use Owen.

Duke has repeatedly affirmed that a franchise agreement is unnecessary.

Brian Pokrywka, one of Duke’s in-house lawyers, made this case to the board of commissioners at a public meeting on April 9, 2024.

“For more than 140 years, since 1881, Duke Energy, through its predecessor companies, has provided, for a while, affordable electricity to the city of Covington without any form of franchise agreement in place,” Pokrywka said at the meeting.

The city’s suit asks the court to deny Duke’s argument and the utility commission to force Duke to follow the same bidding process as Owen did. It does this by asking the court to issue judgements on a group of declarations. Most notable for subsequent filings is the first, which asks the court to validate its franchise ordinance.

“Duke claims that it is the successor to Covington Electric Light Co., which was granted an exclusive electric franchise in its charter incorporated by the Kentucky General Assembly in 1882,” the complaint reads. “Duke argues that [the Kentucky Constitution and relevant laws] do not apply to its franchise

because it allegedly inherited the franchise from Covington Electric Light Co., which was granted the franchise in 1882 before those laws were enacted in 1891.”

Covington Electric Light Co. was absorbed into another company, The Suburban Electric Co., in 1894, which, in turn, went through its own series of mergers, consolidations and buy-outs down the years before its successor company was bought by Duke Energy in 2006.

The city’s legal department points to a U.S. Supreme Court case from 1904, Shaw v. City of Covington, involving Covington Electric Light Company, which the city argues extinguished the perpetual franchise Duke argues it inherited from its predecessors.

“Everything in the constitution looked to the abolition and refusal of special privileges and to putting all corporations on an equal footing,” the Supreme Court wrote in the Shaw case. “It was natural, therefore, when old corporations consolidated, that the law should treat the new corporation which it then called into being as it would have treated another corporation coming into being at the same time.”

“Under the Court’s ruling in Shaw, Duke could not have inherited an exclusive franchise from Covington Electric Light Co. because that franchise ceased to exist when the company was consolidated into The Suburban Electric Co.,” the city argues in its complaint.

Duke attempted to move the case from the Franklin County court to federal court at the end of December. Duke argued that a local court did not have jurisdiction over the city’s request to validate its ordinance,

essentially saying the city had not established that its ordinance conformed to the contract clause of the U.S. Constitution, which says that states can’t pass laws that impair contractual agreements.

“A necessary component to the relief sought in Declaration One is a finding that the Franchise Ordinance does not run afoul of the Contract Clause of the U.S. Constitution,” Duke’s filing reads. “As the Complaint makes clear, Covington seeks to impair Duke Energy’s longstanding perpetual electric right-of-way franchise in Covington issued by the General Assembly of the Commonwealth of Kentucky in 1882.”

The city filed to return the case to the Franklin County Circuit Court at the end of January. Duke responded a little less than a month later in February. Finally, on June 5, U.S. District Judge Gregory F. Van Tatenhove issued a judgement in favor of the city, remanding the case back to the local court.

Van Tatenhove did not find Duke’s argument convincing.

“Duke Energy’s reliance on the Contract Clause is merely an anticipated defense, not an element of the City of Covington’s claims…,” Van Tatenhove writes in this order. “Duke Energy cannot show that a federal issue is necessarily raised in this case nor that it would be substantial (assuming it were to ultimately be present at all). And opening the courthouse doors based on the passing federal defense Duke Energy raises in this case would upset the Congressionally approved state-federal balance…”

As such, any future proceedings will take place in the Franklin County Circuit Court. The case is ongoing.

IS NOW OFFERING OBITUARIES

NKY is filled with close-knit communities and incredible individuals who have called Northern Kentucky home for decades. That is part of what makes our region special - the people

This is why we felt it was important to offer a place to honor your loved ones. With a convenient submission process and low, all-inclusive pricing, LINKnky provides a chance for you to focus on what really matters.

Electric meters. Photo by

DIVISION I

CASE NO.: 23-CI-00433

MORTGAGE RESEARCH CENTER, LLC D/B/A VETERANS UNITED HOME LOANS, A MISSOURI LIMITED LIABILITY CORPORATION

VERSUS}

TOBY HENDERSON, ET AL

By virtue of a judgment and order of sale of the Boone Circuit Court rendered JULY 18, 2023 the above case, I shall proceed to offer for sale at the Justice Center Building in Burlington, Kentucky, to the highest bidder, at public auction on THURSDAY, JULY 17, 2025 at the hour of 9:00 a.m. or thereabouts, the following described property to-wit:

ADDRESS: 10460 WALNUT RIDGE ROAD WALTON, KY 41094

PVA PROPERTY IDENTIFICATION NUMBER: 075.00-09-001.01 &

075.00-09-074.02

AMOUNT OF JUDGMENT: $244,904.71

GROUP NO.: 4014/4842

MASTER

COMMISSIONER’S SALE

BOONE COUNTY CIRCUIT COURT

The complete legal description is particularly set out in the Judgment and Order of Sale entered in this case.

DIVISION III

CASE NO.: 25-CI-00141

CITIZENS BANK, N.A. VERSUS}

KELLY R. SWALES, ET AL

By virtue of a judgment and order of sale of the Boone Circuit Court rendered MAY 27, 2025 the above case, I shall proceed to offer for sale at the Justice Center Building in Burlington, Kentucky, to the highest bidder, at public auction on THURSDAY, JULY 17, 2025 at the hour of 9:00 a.m. or thereabouts, the following described property to-wit:

ADDRESS: 6713 SUMMERTIME LANE BURLINGTON, KY 41005

PVA PROPERTY IDENTIFICATION NUMBER: 039.00-02-144.00

AMOUNT OF JUDGMENT: $124,496.47

GROUP NO.: 4449

TERMS OF SALE: The property shall be sold as a whole. The purchaser may pay all or part of the purchase price in cash, and may pay the balance of the purchase price on a credit of 30 days after date of sale; said credit shall be granted only upon the execution by the purchaser of bond, with surety thereon, and said surety shall be a lending institution authorized and doing business in Kentucky, or a reputable fidelity or surety company, authorized and doing business in Kentucky, and only if said surety be acceptable to the Commissioner of the Boone Circuit Court; and an authorized officer of the surety must be present at the sale or must have given the Commissioner adequate assurance of its intent to be surety prior to or at the sale; and said Bond shall be, and shall remain, a lien on the property sold as additional security for the payment of the full purchase price, and shall have the full force and effect of a Judgment; and said Bond shall bear interest at the rate provided by the Judgment up to Twelve (12%) Percent per annum until paid. The purchaser shall be required to pay the sum of 10% of the bid amount in cash or certified check on the purchase at the time of sale.

The successful bidder at the sale shall, at bidder’s own expense, carry fire and extended insurance coverage on any improvements from the date of sale until the purchase price is fully paid, with a loss payable clause to the Commissioner of the Boone Circuit Court. Failure of the purchaser to effect such insurance shall not affect the validity of the sale or the purchaser’s liability thereunder, but shall entitle, but not require, a lien holder herein, after giving notice to the Commissioner, to effect said insurance and furnish the policy or evidence thereof to the Commissioner, and the premium thereon or the proper portion thereof shall be charged to the purchaser as purchaser’s cost.

The property shall be sold subject to ad valorem taxes for the year 2025 and all subsequent years thereafter; easements, restrictions and stipulations of record; assessments for public improvements levied against the property, if any; existing zoning ordinances, statutes, laws, or regulations; and any facts which an inspection and accurate survey of the property may disclose. BIDDERS SHALL BE PREPARED TO COMPLY WITH THESE TERMS.

All sales are “as is” and the Plaintiff, the Master Commissioner, and the Court shall not be deemed to have warranted title of the real estate to the purchaser. FURTHER INFORMATION REGARDING THESE SALES AND OTHER UPCOMING SALES CAN BE FOUND AT www.boonecountyky.org (Link to Department/Agencies to Master Commissioner) PROSPECTIVE BIDDERS ARE ADVISED AND ENCOURAGED TO REFER TO THAT WEBSITE FOR ANSWERS TO ANY QUESTIONS.

CASE NUMBER 24-CI-00283

DIVISION 1

MORTGAGE ELECTRONIC REGISTRATION SYSTEMS, INC. AS NOMINEE FOR AMERICAN MORTGAGE SERVICE COMPANY VS. ASHLEY LAUREN KRAMER, ET AL.

BY VIRTUE OF A JUDGMENT RENDERED 4/29/2025 BY THE CAMPBELL CIRCUIT COURT, IN THE ABOVE CAUSE I SHALL PROCEED TO OFFER FOR SALE AT THE CAMPBELL CIRCUIT COURTHOUSE, 330 YORK STREET, NEWPORT, KENTUCKY 41071, OUTSIDE THE FRONT DOOR.

To the highest or best bidder at public auction on 7/8/2025 at 3:00pm, the following property, to-wit: 10602 Christa Court, Unit 1, Alexandria, Kentucky 41001

Group No: 70239/A13 PIDN: 999-99-22-885.14

THE COMPLETE LEGAL DESCRIPTION IS MORE PARTICULARLY SET OUT IN THE JUDGMENT AND ORDER OF SALE ENTERED IN THIS CASE.

Subject to conditions, covenants, restrictions, right of ways and easements in existence, including but not limited to those in prior instruments of record; legal highways, and zoning ordinances. SAID PROPERTY SHALL BE SOLD SUBJECT TO REAL ESTATE TAXES DUE AND OWING FOR THE YEAR OF SALE AND THEREAFTER PRIOR YEARS UNPAID TAXES SHALL BE PAID FROM THE PROCEEDS IF THE PURCHASER IS NOT THE PLAINTIFF. IF THE PURCHASER IS THE PLAINTIFF, PRIOR YEARS’ UNPAID TAXES SHALL BE PAID BY THE PLAINTIFF, IN FULL OR PRO RATA, PROVIDED THE SALE PURCHASE PRICE EXCEEDS THE COURT COSTS.

THIS PROPERTY IS BEING SOLD TO PRODUCE THE SUMS OF MONEY SO ORDERED TO BE MADE IN THE JUDGMENT AND ORDER OF SALE ENTERED IN THE WITHIN CASE, INCLUDING BUT NOT LIMITED TO COURT COSTS, AD VALOREM TAXES, IN THE SUM OF $4,271.16; AND OTHER LIENS, INTEREST, ATTORNEY FEES AND/OR OTHER SUMS AND JUDGMENTS THAT MAY BE AWARDED BY THE COURT. THE SALE SHALL BE MADE TO THE HIGHEST AND BEST BIDDER(S). ANY PURCHASER OTHER THAN PLAINTIFF WHO DOES NOT PAY CASH IN FULL SHALL PAY 10% CASH AND SHALL BE REQUIRED TO EXECUTE A BOND AT THE TIME OF SALE, WITH SURETY ACCEPTABLE TO THE MASTER COMMISSIONER AND PRE-APPROVED BY THE MASTER COMMISSIONER AT LEAST BY NOON, TWO (2) BUSINESS DAYS BEFORE THE SALE DATE, TO SECURE THE UNPAID BALANCE OF THE PURCHASE PRICE, AND SAID BOND SHALL BEAR INTEREST AT THE RATE OF 12% PER ANNUM FROM THE DATE OF SALE UNTIL PAID, AND SHALL HAVE THE SAME FORCE AND EFFECT AS A JUDGMENT AND SHALL REMAIN AND BE A LIEN ON THE PROPERTY UNTIL PAID THE BOND SURETY MUST BE PRESENT AT THE SALE AND EXECUTE SALE BOND AND THE AFFIDAVIT OF SURETY THE PURCHASER(S) SHALL HAVE THE PRIVILEGE OF PAYING ALL THE BALANCE OF THE PURCHASE PRICE PRIOR TO THE EXPIRATION OF THE THIRTY (30) DAY PERIOD. THE DEPOSIT SHALL BE WAIVED IF PLAINTIFF IS THE SUCCESSFUL BIDDER. THE MASTER COMMISSIONER SHALL SELL THE REAL ESTATE BY PUBLIC SALE ON A DAY AND TIME TO BE FIXED BY HIM, OUTSIDE THE FRONT DOOR OF THE CAMPBELL CIRCUIT COURTHOUSE, 330 YORK STREET, NEWPORT, KENTUCKY. BIDDERS MUST BE PREPARED TO COMPLY WITH THESE TERMS. THE COSTS OF THE SALE SHALL BE PAID WITHIN FOURTEEN (14) DAYS OF THE SALE.

JOSEPH F. GRIMME, MASTER COMMISSIONER 859-291-9075

Festival brings retro vibes, local sounds to Covington

Organizers of the first Arcade Music Festival say it’s filling a “big missing piece in Cincinnati’s culture and history.”

Co-organizer Jared Metz told LINK nky that the event was partly inspired by MidPoint Music Festival, which ran in Cincinnati’s Over-The-Rhine neighborhood from 2002 to 2017. “We’re trying to revitalize it in Covington,” he said.

Eight stages will be set up Aug. 8 and 9 along Madison Avenue and along Pike and Washington streets, each with its own unique vibe and genre.

The festival’s name comes from the tunnel that runs from Pike to West Seventh streets between Klingenberg’s Hardware and Hierophany & Hedge. While the tunnel is empty, and, so far as Metz and his co-organizer, Emma Ranney, can figure out, has never been what one would consider an actual arcade, it does have a sign above it on both sides that says “Arcade.”

“That inspired the branding of the eight-bit retro video game style,” said Metz.

The tunnel is where the main stage will be set up. Being the focal point of the festival, Metz and Ranney are working to make sure that it’s decked out to the nines. The duo has tapped Covington-based fiber artist Daniel Shields, known locally for his work during BLINK, to decorate the tunnel.

Shields’ plans for the space include using reflective material designed originally by NASA to create reflections on the ceiling and more.

“We can’t wait to see his vision,” said Metz.

Metz and Ranney told LINK that this festival was sort of kismet. They had both separately had an idea for this kind of festival and came together to get the event started.

“When we started, it was, like, just an idea,” said Metz.

“Yeah, we kinda just signed an LLC and went from there,” said Ranney. That was in April, giving them just five months to put it together.

By May 15, half of the lineup was announced, and, when LINK spoke with the two, they were finalizing the contracts.

The festival has a lineup of over 50 artists and eight stages. Besides the main stage in the tunnel, seven local bars and venues will have stages. Those are Second Story, Revival Vintage Spirits, Olde Town Tavern, Ripple Wine Bar (Street Stage), Madison Live, West Sixth Brewing and Galaxie.

Dozens of vendors will also span four blocks of Covington’s Madison Avenue bar district.

Metz said they’re planning an eclectic musical mix, and each venue will have its own

genre. “We’re trying to get every genre possible,” Metz said. For example, Metz said Revival will have mostly folk/Americana acts, Old Town Tavern will be the punk venue, Madison Live will have rap, Galaxy will be electronic dance music and Second Story will have more pop acts.

Many of the artists will be local. Headliners and more artists are set to be announced July 3.

The festival is mostly free, with the main stage tunnel being the only ticketed area, meaning Metz and Ranney have had to raise a lot of money on their own. While Metz has worked on the vibe and the vision, Ranney has been working on securing funding.

“I have reached out to anyone and everyone,” said Ranney. “I’ve done so much research into every single national and regional company, nonprofit, brand that has ever had any history of interest in sponsoring, and I found their contact information.”

They have already secured sponsorships from MeetNKY, the Ion Center (formerly Women’s Crisis Center) and Tierra Y Libertad Tequila, and they hope to get a few more.

From the moment they launched their website and social media, Metz said the community has greatly supported them. “Being able to do this is so cool, and we have all this community backing. It’s great.”

The first Arcade Music Festival, set for August, was inspired by the former MidPoint Music Festival. Provided | Arcade Music Festival

50 sports icons in Northern Kentucky: Days 11-17

We’re presenting our “50 sports icons in Northern Kentucky” one every day online over 50 days. For our print editions, we’re spotlighting groups of icons each week through mid-July.

This week’s second installment covers Days 11 through 17.

Sports editor Evan Dennison spoke and conferred with several local NKY sports history buffs to get their opinions and their lists of who should be “locks” for the 50 sports icons. We compiled those lists to come up with our own 50 (maybe cheated a little by putting families in as one).

You may disagree with who should or shouldn’t be in the top 50, and that’s fine. Plenty are in the Hall of Very Good, but these 50 are the ones who stuck out to us.

We hope you enjoy reliving the stories of these great achievers.

Day 11: Irv Goode

After two years at Holmes, where he didn’t make the football team, Goode played his final two high school football seasons at Boone County.

Goode was named a Sporting News High School All-American for the Rebels in addi-

PRODUCTION ENGINEER (ERLANGER,

KY).

Oversee manufacturing process & ensure food products are reliable by keeping w/ effective operations & cost factors, utilizing knowledge of product technology, production methods & procedures, & capabilities of machines & equipment. Requires a Bachelor’s or foreign equivalent in Engineering or related field & 5 years’ progressively responsible, post-baccalaureate experience in a related occupation.

APPLY AT: https://careers.hireology.com/newlywedsfoodserlangerky/2396767/description.

tion to all-conference and All-State by the Louisville Courier-Journal. He then went on to play at the University of Kentucky.

Goode was a two-way player as a center and linebacker. A team captain in 1961 for the Wildcats, Goode was named a First Team All-American by Time, Third Team All-Southeastern Conference by UPI and played in four all-star games.

His 13-year NFL career started in 1962, when he was drafted 12th in the first round by the St. Louis Cardinals. It’s the highest a Northern Kentucky football player has ever been selected. He went on to play for three teams, the Cardinals, Buffalo Bills and Miami Dolphins from 1962-74. He also played tackle and was a long snapper. Goode played in 162 NFL games and was named to the Pro Bowl in 1964 and ’67. He won a Super Bowl ring with the Dolphins in 1974.

Goode has since been inducted into UK’s inaugural Athletics Hall of Fame class (2005), the Missouri Sports Hall of Fame (2018) and received the honor of Legend in the SEC in 2008. The Boone County football team now plays its home games on Irv Goode Field.

Day 12: Stan Steidel

Stan Steidel’s promotion of small schools is felt across the state. He was instrumental in the creation of the All “A” Classic, a statewide basketball tournament for smaller schools that has turned into a statewide tournament for numerous sports.

Steidel graduated from Dayton in 1959, where he excelled in basketball, baseball and football. After playing basketball at Brewton Parker Junior College in Georgia and then Villa Madonna College (now Thomas More University), he spent two years in the U.S. Army and then graduated from the University of Cincinnati with a bachelor’s degree in education. He went on to earn a master’s degree in education from Xavier University.

After being hired at Dayton, he spent 34 years as a coach in baseball, football and basketball and 25 years as an athletic director. He then became the athletic director at Holmes.

Steidel started the All “A” Classic in 1990. Nine high school basketball teams from Northern Kentucky competed in the first tournament. Three years later, schools from across the state started coming to the

region to compete in the tournament, and the All “A” Classic became an annual statewide event held in central Kentucky – first being played in Lexington, then later in Richmond.

He also led the charge to bring the Kentucky Girls Basketball Sweet 16 to Northern Kentucky University’s Bank of Kentucky Center, now Truist Arena.

Steidel was twice selected as the Kentucky High School Athletic Director of the Year, was chosen one of the 50 Most Powerful People in Kentucky Sports by the Lexington Herald-Leader and was inducted into the National High School Coaches Hall of Fame in 2010.

Day 13: Kenney Shields

Shields’ impact goes far beyond wins and losses as a coach. He committed to kids since he was a teen working with the Covington Recreation Department and the Covington Turners.

The all-time winningest coach at Northern Kentucky University and Highlands compiled a 766-427 record in his 39-year coaching career. Shields coached at Highlands from 1975-88 and at NKU from 19882004.

A year after he graduated from college, Shields started his head coaching career at St. Thomas, a small parish high school. He spent 10 years there before becoming the boys head basketball coach at Highlands, where he won 261 games and five 9th Region championships in 13 seasons.

His record of success on the high school level led to his becoming the men’s head basketball coach at Northern Kentucky University. He took NKU teams to the NCAA Division II national championship game in 1996 and ’97. The Norse were still considered one of the top Division II teams in the country when Shields retired in 2004 with a 306-170 record in 16 seasons. Shields was named Division II National Coach of the Year in 1995. He was the Great Lakes Valley Conference Champion in 1996 and the NABC Great Lakes Region Coach of the Year in 1996.

In 2009, Shields was inducted to the KH-

SAA Hall of Fame, the 11th Hall of Fame to which he’s been inducted. He published a book in 2017, “Nothing More, Nothing Less, Nothing Else,” about his life and coaching accomplishments.

Day 14: David Justice

This story still blows our minds.

Known as a basketball player for Covington Latin in high school, Justice went to what was then Thomas More College to continue his basketball career.

A few years later he was a fourth round pick for the Atlanta Braves, a sport he couldn’t play at Covington Latin because they didn’t offer it. How Justice got to that point is nothing short of a fairy tale.

Heading to Thomas More as a 16-year-old high school graduate, Justice wanted a way out of basketball conditioning. Seeing the baseball team practice was a way he thought he could get out of it, and so he joined the team. It was during a game against Xavier that the under-the-radar prospect was recognized when Hep Cronin, a scout for the Braves, saw Justice hit a ball over 400 feet.

Justice played three seasons at Thomas More before being drafted in 1986 in the fourth round by the Braves, a team that struggled in the 1980s. When Justice and a core of young players were called up to the major leagues in 1990, the Braves established a dynasty that extended for the next 14 seasons, with playoff appearances every year and five World Series appearances. The Braves won a World Series title in 1995.

Justice’s MLB career included being named NL Rookie of the Year in 1990 and racking up 305 home runs and 1,017 RBI to go with being a three-time All-Star. He’s a twotime World Series winner (1995 with Atlanta, 2000 with the Yankees), ALCS MVP (2000), two-time Silver Slugger winner and a member of the Braves Hall of Fame. His 14-year career included stints with the Braves, Indians, Yankees and Athletics.

Day 15: Morgan Hentz

Hentz is a Notre Dame Academy graduate who went on to play college volleyball at Stanford and is a current U.S. women’s national volleyball team member.

In her standout high school career, Hentz recorded 465 kills, 476 digs and 41 blocks during her senior season that included being an Under Armour First Team All-American, Miss Kentucky Volleyball and Gatorade Kentucky Volleyball Player of the Year.

At Stanford, she was a three-time NCAA champion and made the AVCA All-America First Team three times. She also won Pac12 Libero of the Year three times and was the NCAA Final Four Co-Most Outstanding Player in 2018.

She plays libero for the U.S. national team, with which she made her debut in 2022. In her first match, she had a team-leading 15 digs and 10 excellent receptions. She was recently named Libero of the Year in the Pro Volleyball Federation for the second

straight season.

Hentz has played professionally for Dresdner SC in Germany in 2020-21, Athletes Unlimited in America from 2022-23 and currently plays for the Atlanta Vibe in the Pro Volleyball Federation. She was named as the Best Libero in 2022 and Defensive Player of the Year in 2022 with Athletes Unlimited.

Day 16: Eddie Arcaro

Arcaro, a Southgate native, owns the most prestigious label in all of horse racing: He’s the only jockey ever to win two Triple Crowns. The 5-foot-2 Arcaro won the Triple Crown with Whirlaway in 1941 and again in 1948 with Citation.

Arcaro’s 17 wins in Triple Crown races still stand as the most for a jockey. He won the Belmont Stakes six times, Preakness Stakes six times and the Kentucky Derby five times. His honors include United States Champion Jockey by earnings in 1940, ’42, ’48, ’50, ’52 and ’58; the George Woolf Memorial Jockey Award in 1953; and

Big Sport of Turfdom Award in 1974. He was elected to the U.S. Racing Hall of Fame in 1958 and the Fair Grounds Racing Hall of Fame in 1971. During his career, Arcaro rode in 24,092 races and won 4,779, with record setting earnings of over $30 million dollars.

Arcaro was called “The Master,” for his riding skills, good sense of pace and the ability to switch his whip from one hand to the other with ease during a race. Off the track, he was one of three founders of the Jockeys’ Guild and served as its president for 12 years, starting in 1949. The New York Times reported that, during Arcaro’s tenure, the guild took the first steps toward providing financial support, old-age care, life insurance and health insurance for jockeys.

After racing, Arcaro was a television commentator for horse racing on CBS and ABC. He also worked as a spokesman for Buick. Arcaro died in 1997 at age 81 in Miami.

Day 17: Nancy Winstel

The Newport native and Northern Kentucky University legend led the Norse to two NCAA Division II national championships – in 2000 and 2008 – amassing a remarkable 636-214 record in 29 seasons as head coach. Under her leadership, NKU became a perennial powerhouse, making 20 NCAA Tournament appearances, reaching five Final Fours, and appearing in three national title games.

Winstel’s impact extended beyond wins. A six-time GLVC Coach of the Year, she was honored as WBCA Division II National Coach of the Year in 2000 after guiding NKU to a 32-2 record and its first national title. That team also strung together 24 consecutive victories. In 2009, Women’s Division II Bulletin named her National Coach of the Decade and ranked her program the best of the 2000s.

As a member of NKU’s first women’s basketball team (known as Northern Kentucky State at the time) in 1974, Winstel tallied 787 points and averaged 8.3 rebounds per game during her playing career. After earning her master’s at Indiana University, she coached at Midway College before returning to NKU as an assistant, eventually taking over the head role in 1983.

In total, 64 of her players earned All-Conference recognition, including six GLVC Players of the Year. More than her accolades, Winstel defined a standard for success and mentorship that left a lasting imprint on NKU, the GLVC, and women’s college basketball nationwide. Her 2013 induction into NKU’s Hall of Fame was a wellearned honor for a true coaching icon.

by:

Nancy Winstel’s legacy in women’s college basketball is synonymous with excellence.

Former Boone Co. basketball standout takes D1 coaching job

Boone County grad and former Miss Kentucky Basketball Sydney Moss is making the jump to the Division I coaching ranks.

After three seasons with Wilmington College in Ohio, one as an assistant and two as head coach, Moss recently accepted an assistant coaching position with Stetson University in DeLand, Florida.

Moss, the 2012 Miss Kentucky Basketball winner, has made the jump to Division I after stints in Division II, III and NAIA. After graduating from Thomas More in 2016, Moss started her coaching career at St. Thomas University in Florida and the University of Charleston in West Virginia as an assistant.

She then latched on with her alma mater as the Saints’ lead assistant and recruiting coordinator. Under Jeff Hans, she helped steer Thomas More to back-to-back NAIA national championship game appearances, including a 2022 title and a 63-6 record over two seasons.

In her playing days, Moss racked up numerous honors including Miss Basketball. She won multiple Player of the Year honors before playing her freshman year at the University of Florida. After her freshman season, she transferred to Thomas More, where she was a three-time first-team All-American and had her jersey retired in 2019.

She is the daughter of NFL Hall of Fame player Randy Moss.

Stamm to lead Bishop Brossart girls basketball

A little more than three weeks removed from hearing that Steve Brown wasn’t returning, Bishop Brossart has found its new leader for the girls basketball program.

Aaron Stamm was named head coach on June 16. Brown resigned May 23 after three seasons to take an assistant coaching position with Thomas More University.

Stamm comes over from Ludlow, where he coached the boys program the last three seasons, compiling a 53-40 record, which included his 400th career victory last season. He also led the Panthers to three straight NKAC Division III titles.

Prior to coaching the Ludlow boys, he led the Ludlow girls from 2019-22 and was also the head coach for the girls team from 2004-10. Between his stints with the Ludlow girls, he coached at Conner from 201019.

Of Stamm’s 21 years as a head coach, 18 have been with girls programs. With the Ludlow girls he won 173 games, reached the 9th Region tournament six times and secured seven NKAC DIII titles. At Conner, he racked up 181 victories and five 9th Region tournament appearances and a 33rd District title in 2017.

Stamm has won four Kentucky Association of Basketball Coaches Coach of the Year awards in the 9th Region. He’s a member

of the Ludlow Sports Hall of Fame and the Northern Kentucky Sports Hall of Fame.

He inherits a Bishop Brossart team coming off a 10th Region championship appearance and a 37th District title. The team is expected to return seven of its top nine players that played in at least 26 games last season. Zoee Meyers, the second leading scorer, and Zoey Woosley, the fifth, graduated. but returning leading scorer Kylie Smith enters as just a sophomore. Hadley Eviston and Rachel Shewmaker are expected to be key returnees.

Brossart has won five 10th Region All “A” titles since 2019 and three of the last four 37th District titles to go with a 10th Region championship in 2021.

Martin steps down after 6 years leading NewCath baseball

Newport Central Catholic head baseball coach Jeff Martin has stepped down after six years at the helm.

Martin finishes his tenure with a 74-86 overall record. That includes a 58-52 mark in regional play and a 24-7 district record.

Under Martin’s leadership, NewCath reached a high point in 2022. The Thoroughbreds finished with a 19-13 record to go with a 9th Region tournament win. Last season, the Thoroughbreds went 16-16, finishing 6-1 in 36th District play.

Martin, a 1981 NewCath grad, also coached the school’s boys soccer team from 2015 to 2018. He fashioned a 44-35-6 record with one district title.

Sydney Moss accepted an assistant coaching position with Stetson University in Florida. Provided | Stetson University
Aaron Stamm was named the next girls basketball coach at Bishop Brossart. File photo
NewCath baseball coach Jeff Martin has resigned after six seasons in the position. Provided | NewCath athletics

Martin secured nearly 120 wins across two sports during his 10 years as a head coach at his alma mater.

Six from NKY make All-State baseball teams

The Kentucky High School Baseball Coaches Association announced its selections for the three All-State baseball teams. Note that, in order to be named All-State, a player’s head coach must be a KHSBCA member.

Corbin’s Kade Elam, a University of Louisville signee, was named Mr. Baseball.

From Northern Kentucky, Beechwood’s Chase Flaherty, Simon Kenton’s Tyler Ruete and Campbell County’s Tyler Schumacher made the first team.

The Ryle pair of Anthony Coppola and Dylan McIntyre made the second team, while Beechwood’s Tyler Fryman made the third team.

Flaherty was the Tigers’ ace this season, going 10-2 with a 2.20 ERA. He struck out 89 batters in 63.2 innings pitched. He was the second-leading hitter in the Beechwood lineup with a .357 average as he collected 35 hits, scored 23 runs, drove in 26 runs and knocked six doubles with nine walks.

Ruete was the Pioneers’ ace and one of their leading hitters. He went 5-1 with a 2.74 ERA and struck out 75 batters in 46 innings pitched. At the plate, he was second on the team with a .413 batting average and led the Pioneers in home runs (7), doubles (10), RBI (36) and walks (20).

Schumacher was unblemished on the mound for the Camels with a 6-0 record and a 1.04 ERA. He struck out 78 batters in 47 innings pitched and allowed just seven earned runs. He hit .455 on the year with a team-high four home runs and 33 RBI.

Coppola got things going for the Raider offense as the primary leadoff hitter and batted a team-high .462. He led the Raiders in hits (48), runs (43), walks (25) and stolen bases (41). He struck out just nine times in 104 official at-bats.

McIntyre was regarded as the best pitcher in Northern Kentucky by many, go-

ing 7-1 this season with a 0.62 ERA. The hard-throwing righty struck out 84 in 56.2 innings pitched. He gave up just five earned runs all season. He was also one of the Raiders’ leading hitters with a .361 batting average with 35 hits on the season, 16 of them going for extra bases. He tied for the team lead in home runs (3) and RBI (19).

Fryman led the Tigers in hitting with a .436 batting average. He also led Beechwood in at-bats (117), hits (51), runs (44), RBI (36), doubles (19), triples (3), home runs (4) and stolen bases (34), while manning center field.

Softball coaches name 3 from NKY to All-State teams

Provided | Charles Bolton

The Kentucky Softball Coaches Association released its All-State teams on June 14. Only KSCA members could vote.

Unlike during the season, the All-State teams are broken into three classes – Class A, 2A and 3A – with a first and second team and an honorable mention for each.

Highlands had a duo make the 3A team, Kaitlyn Dixon and Payton Brown as an honorable mention. Notre Dame’s Abby Turnpaugh made the 2A team.

Dixon was co-NKSCA Division II Player of the Year with Turnpaugh, going 22-3 in the circle with a 1.18 ERA. She struck out 295 batters in 166.1 innings pitched. She hit .390 at the plate and was second on the team in RBI with 38. She knocked 12 doubles and three home runs. She was also selected to play in the East-West All-Star game in Bowling Green June 20-22.

Turnpaugh shared NKSCA Division II Player of the Year honors with Dixon thanks to her pitching prowess. She went 17-5 with a 1.66 ERA and 218 strikeouts in 135 innings pitched. She walked just 30 batters and allowed 32 earned runs. She was also one of the leading hitters for the Pandas with a .431 batting average and a team-high 27 RBI. She also led the team with six doubles.

Brown led the Bluebirds in hitting with a .532 average. The junior also led Highlands in hits (50), RBI (53), triples (5), home runs (4) and walks (23). She struck out just six times in 94 official at-bats and was the team’s primary catcher this season.

Committee hearing spotlights youth suicide

This story mentions suicide. The National Suicide & Crisis Lifeline can be reached by dialing 988 or going to 988lifeline.org. You can also reach the Crisis Text Line via text message by sending “KY” as a text to 741-741. Both services are free and confidential.

Youth suicide took center stage at a special legislative committee hearing in Covington on June 18, at which legislators from Northern Kentucky and across the state heard stories and expert advice on what to do about the phenomenon.

“The best suicide prevention happens when our communities come together,” said Beck Whipple, suicide prevention coordinator at the Kentucky Department of Behavioral Health, Developmental and Intellectual Disabilities.

The committee meeting was part of a special event for which Kentucky representatives and senators came to Covington during the interim session to network and meet. Testimonies were heard during a nearly three-hour hearing of the Interim Joint (i.e., consisting of both house and senate members) Committee of Health Services. Although it wasn’t the only thing on the agenda, youth suicide took up most of the hearing.

Experts from the cabinet, the Kentucky branch of Mental Health America and the Kentucky Center for School Safety began by giving an overview of youth death by suicide in the state, as well as evidence-based methods for dealing with it. One of the key challenges, they said, is tracking data on suicide: It requires researchers to pull from numerous sources, such as coroners’ offices, crisis hotlines and vital statistics agencies to get a picture of the scope of the problem.

As a result, the data is often not up to date, and experts at the hearing emphasized the need for agencies to share data as one strategy to address the problem.

There were 30 deaths by suicide between the ages of 8 and 17 in Kentucky in 2023, based on available data, according to the Kentucky Department of Public Health (which notes that its reporting may change as more information becomes available).

Males tend to die by suicide at higher rates than females, although Stephanie Vogel, director of population health at the Northern Kentucky Health Department, said that the rate of deaths by suicide among females was increasing in the region.

Available data also suggested an overall increase in the rates of intentional injury deaths, as the Kentucky Office of Vital Statistics puts it, across all age groups in Boone and Campbell counties since 2020.

The most poignant testimony came from Jaimee Kelley Seitz, a Boone County resident whose daughter, Audree Heine, died by suicide in December. Hers was one of five youth deaths in Boone County since November, four of which have been confirmed to be suicides.

Following the cluster of suicides in Boone County at the end of last year, the county formed the Boone County Suicide Response Team, a cross-institutional team that works to come up with resources, tools and avenues to curb deaths by suicide in the county. Seitz herself has also worked to raise awareness and advocate for change.

Seitz said her daughter’s death came without warning. Following her death, Seitz began looking for answers and discovered, by reading Heine’s personal journals, that Heine had been drawn into online communities that idolized mass murderers, such as the Columbine shooters, and at times even encouraged violence. Seitz characterized it as a form of brainwashing.

Seitz encouraged the legislators and meeting attendees to consider new ways, besides established channels like school counselors, for kids and teens to seek help.

“There’s not always a sign,...” Seitz said, “but, if a child felt comfortable enough and they felt anonymous doing it and not judged, I feel like then that would be the first step of action. Otherwise, they’re just going to keep it in, and it gets worse.”

Beechwood’s Chase Flaherty was selected to the KHSBCA All-State first team. Provided | Charles Bolton
Notre Dame senior Abby Turnpaugh was selected to the KSCA All-State Class 2A second team.
Jaimee Kelley Seitz sits behind a photo of her daughter Audree Heine, who died by suicide in December, and reads a statement at the June 18 committee hearing in Covington. Also pictured is Beck Whipple, suicide prevention coordinator for the Kentucky Cabinet for Health and Human Services. Photo by Nathan Granger | LINK nky

1925 traditional Fort Mitchell home

Address: 34 Ridge Road, Fort Mitchell

Price: $1,100,000

Bedrooms: Six

Bathrooms: Three (plus one half bath)

School district: Beechwood Independent

County: Kenton

Square footage: 3,278

Special features: Located in the heart of Old Fort Mitchell, this three-story home has been maintained by the same family since 1978. Built in 1925, highlights include a welcoming front porch, formal dining and living rooms, an eat-in kitchen with a Viking stove, a gas fireplace, walkout to a private patio and a three-car garage.

Kentucky now allows for Public Notices to be published digitally on LINK nky’s website. You can find public notices for the following organizations on our site at https://linkreader.column.us/search

-PUBLIC NOTICE-

Berkshire Heirloom Lane Farm Llc 7560 Heirloom Ln Florence KY 41042

No trespassing, No Hunting, No fishing, No Entry: No Entry at any point including the end of Kroth Ln, the end of Preservation way, Heirloom Ln driveway or any surrounding subdivision or property which borders. Violators will be subject to legal action.

Management— Berkshire Heirloom Lane Farm 7560 Heirloom Ln Florence KY 41042 Ph:859-371-5653

• AJ’s Towing & Recovery

• Boone County Clerk

• Campbell County Clerk’s Office

• Campbell County District Court

• Campbell County Fire District #1

• Campbell County Fiscal Court

• Campbell County Planning & Zoning

• Campbell County Public Library

• Campbell County Sheriffs Office

• City of Alexandria

• City of Bellevue

• City of Cold Spring

• City of Covington

• City of Cresent Springs

• City of Crestview Hills

• City of Dayton

• City of Edgewood

• City of Elsmere

• City of Erlanger

• City of Florence

• City of Fort Mitchell

• City of Fort Thomas

• City of Fort Wright

• City of Highland Heights

• City of Independence

• City of Lakeside Park

• City of Ludlow

• City of Newport

• City of Ryland Heights

• City of Silver Grove

• City of Southgate

• City of Union

• City of Villa Hills

• City Of Walton

• City of Wilder

• City of Woodlawn

• Covington Public Independent Schools

• Cresent Springs Board of Adjustment

• Family Dollar Store

• Fort Mitchell Board of Adjustment

• Fort Thomas Independent Schools

• Highland Heights Planning & Zoning

• Joseph F Grimme, Campbell County

Master Commissioner

• Keating, Muething & Klekamp PLL

• Kenton County Fiscal Court

• Kenton County Joint Board of Adjustment

• Larry Dillon, Boone County Master Commissioner

• Northern Kentucky Port Authority

• Northern Kentucky Water District

• Planning & Development Services of Kenton County

• The Baker Firm PLLC

• The Hidden Chapter Bookstore LLC

An exterior view of this Fort Mitchell home. Photos provided | CoCo James with RE/MAX Victory
A view of this home’s kitchen.
This home has been in the same family since 1978.

5/12/25 - 5/18/25

HOW TO SOLVE:

Each row must contain the numbers 1 to 9; each column must contain the numbers 1 to 9; and each set of 3 by 3 boxes must contain the numbers 1 to 9.

Answer to Previous Sudoku:

Each row must contain the numbers 1 to 9; each column must contain the numbers 1 to 9; and each set of 3 by 3 boxes must contain the numbers 1 to 9.

2025 COMMUNITY CONVERSATION SERIES:

OCTOBER 9

DECEMBER 4

Scan the QR code to register – Education – Workforce

Events will be held at the Erlanger Branch of the Kenton County Public Library from 6-7:30 p.m. Events will also be live-streamed on LINK nky’s Facebook page.

Our December Community Conversation event will be held at a different location: The new SparkHaus Entrepreneurial Hub at 727 Madison Avenue in Covington. What a better place to talk about workforce? We’ll see you there!

Turn static files into dynamic content formats.

Create a flipbook
Issuu converts static files into: digital portfolios, online yearbooks, online catalogs, digital photo albums and more. Sign up and create your flipbook.