

GFS hosts kids camp to promote fire safety in Berbice

![]()


GFS hosts kids camp to promote fire safety in Berbice




– Police arrest 3, Spanish-speaking suspect wanted – 4 victims remain hospitalised; “I just want justice” – mother of 6-year-old killed in explosion – Private Sector calls for heightened state of security, vigilance Guyana, Saudi Arabia agree to deepen cooperation on energy, food & infrastructure
Construction of US$35M Mackenzie-Wismar River Bridge now 83.5% complete – Public Works Ministry

Govt in talks with int’l pharmaceutical companies to produce Ozempic-equivalent drugs – Health Minister Cop shooter slapped with manslaughter charge, gets $1M bail – implementation mechanism



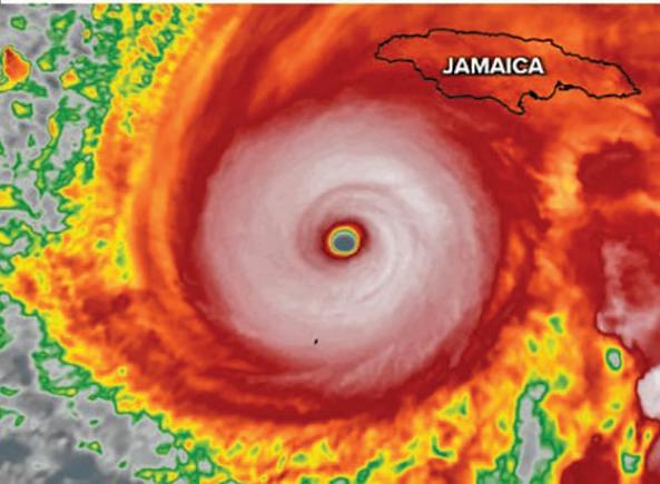
Guyana on standby with humanitarian aid for Jamaica as Hurricane Melissa hits Category 5


Fmr IICA DG endorses Guyana’s Muhammad Ibrahim to head organisation


Close to 3600 students to graduate from UG

GuyExpo 2025 to expose local businesses to new markets –Tourism Minister






The Berbice Bridge will be closed to vehicular traffic on: Tuesday, October 28 –08:00h-09:30h and Wednesday, October 29 – 09:15h-10:45h.


Parika and Supenaam departure times – 05:00h, 10:00h-12:00h, 16:00h, 18:30h daily.




Sunny skies are expected during the day, with thundery showers in the mid-morning hours. Clear to partly cloudy skies are expected at night. Temperatures are expected to range between 24 degrees Celsius and 33 degrees Celsius.
Winds: East North-Easterly to East South-Easterly between 2.68 metres and 4.92 metres.
High Tide: 08:23h and 20:39h reaching maximum heights of 2.12 metres and 2.18 metres.
Low Tide: 14:08h reaching a minimum height of 1.15 metres.










– Police arrest 3, Spanish-speaking suspect wanted – 4 victims remain hospitalised; Private Sector calls for heightened state of security, vigilance

n light of a suspected terrorist attack at a Mobil Service Station in Georgetown on Sunday evening, which has claimed the life of a six-yearold girl, President Dr Irfaan Ali has instructed that a full-scale investigation be launched using every available resource to determine the precise cause and circumstances of the deadly explosion. The President, who is presently in the Kingdom of Saudi Arabia for the 9th Edition of the Future Investment Initiative (FII9), on Monday stated that he received comprehensive briefings regarding the circumstances surrounding the explosion, which has left Soraya Bourne dead and critically injured several others. "I was also briefed on the identification of an individual of interest, and I have instructed that images of this person be circulated widely so that the public may assist the Guyana Police Force (GPF) by sharing any information that could aid the investigation," the Head of State noted.
He, however, extended his condolences to those affected and their families, adding, "I have spoken directly with the medical teams attending to the injured and have instructed that every form of support and care be provided to those under treatment." The GPF stated that the explosion occurred at the Mobil Service Station, Regent and King Streets, Lacytown, Georgetown, at about 19:36h and is working on the theory that the incident might be premeditated, as CCTV footage in the area captured a male suspect of mixed ethnicity and speaking Spanish attempting to dispose of two black garbage bags in a bin.
Nevertheless, he was prevented from doing so by an attendant; instead, he walked toward the western side of the fuel station, soon after which a loud explosion was heard coming from the section where bottled cooking gas was stored. The blast caused extensive damage to the building, several parked vehicles, and nearby properties. A motorcar bearing registration number PTT 8275, driven by a 27-year-old school teacher, Jenica Hooper, was in the compound. At the time, the teacher's mother, Yvonne Jonas, 71, along with her nieces and nephew, Soraya Bourne,

Hospital Corporation (GPHC), where Bourne was pronounced dead. The other victims were treated for injuries and remain in stable condition.
Conditions of Victims
On this note, the GPHC confirmed that eight patients
were received at the hospital's Accident and Emergency Department following the explosion.
The medical facility, in a release on Monday, stated that upon arrival, all patients were promptly triaged, assessed, resuscitated, and stabilised. Of the eight patients, three were diagnosed with minor injuries and subsequently discharged after evaluation, while four were admitted-two in the paediatric ward suffering from significant injuries and two adult females who are in the medical ward and are being treated for soft tissue injuries to the face, head, neck and thigh, with one suffering a fracture to the leg. "The two paediatric patients with serious injuries un-

derwent emergency surgical procedures and are currently in the recovery room under close observation. Both patients are critical but stable," the hospital added. The hospital further stated that as part of the hospital's standard trauma protocol, for injuries that could result in latent internal injuries,

Dead: 6-year-old Soraya Bourne
CT scans were performed on all patients to guide further management.
"The hospital's Social Work Unit and Psychiatry Department are currently prepared to offer psychological counseling to the patients and their relatives affected by this incident."
In addition, on Monday, Health Minister Dr Frank Anthony, along with the Director of Medical & Professional Services, Dr Navindranauth Rambaran and members of the senior nursing leadership team, visited the patients to assess their progress and extend support to their families. The GPHC states that its medical team continues to provide the highest standard of care to all affected patients and that psychosocial support services remain active for the families and survivors.



Editor: Tusika Martin
News Hotline: 231-8063 Editorial: 231-0544, 223-7230, 223-7231, 225-7761
Marketing: 231-8064 Accounts: 225-6707
Mailing address: Queens Atlantic Industrial Estate Industrial Site, Ruimveldt, Georgetown
Email: news@guyanatimesgy.com, marketing@guyanatimesgy.com
The Environmental Protection Agency’s (EPA’s) move to deepen collaboration with the Guyana Police Force (GPF) in enforcing noise pollution regulations represents a significant and long-overdue step towards improving environmental governance and public order. For years, noise nuisance has been one of the most persistent environmental complaints in Guyana, particularly within urban and residential areas where community members struggle with excessive and unchecked noise from bars, events, and industrial operations.
The proposed partnership between the EPA and the Police will now bring sharper enforcement capabilities, transforming the fight against noise pollution from a largely advisory exercise into one with real legal consequences. Head of Investigation and Enforcement at the EPA, Surjpal Singh, recently outlined the agency’s plans to formalise an arrangement, or fiat, that would empower the Police to officially charge offenders under EPA regulations.
This initiative is a reform designed to address a longstanding gap in enforcement. Currently, while the EPA has the regulatory authority to investigate and issue notices, its enforcement capacity has been limited without direct prosecutorial mechanisms. By equipping the Police to act under EPA regulations, the agency will enhance accountability and efficiency in responding to public complaints.
The issue of noise nuisance extends beyond irritation as it speaks to the broader question of quality of life, public health, and respect for community. Chronic noise exposure has been linked globally to increased stress, sleep disturbances, and other health impacts. In Guyana, however, the problem has persisted due to lax enforcement, cultural tolerance of excessive noise, and limited deterrents. The fines attached to noise pollution offences, between $300,000 and $750,000, reflect the seriousness with which the EPA now view such violations, but without consistent enforcement, penalties remain symbolic rather than corrective.
Singh’s remarks highlight that to date, no individuals have been prosecuted solely for noise nuisance in 2025, though some cases involving mixed environmental offences, including dust, land, and water pollution, have reached the courts. This gap underscores the urgent need for the very collaboration now being established. Once implemented, the joint enforcement arrangement will ensure that offenders face immediate and effective legal consequences, reinforcing the principle that environmental protection is a matter of law, not preference.
Equally important is the EPA’s continued emphasis on education and voluntary compliance. Enforcement alone cannot solve the problem if public awareness and behavioural change do not accompany it. The agency’s proactive efforts to engage communities, such as assisting bar owners with soundproofing and advising operators on noise-reduction measures, demonstrate a balanced approach that blends regulation with responsibility. These educational interventions serve to reduce infractions and also to promote a culture of cooperation rather than confrontation between regulators and citizens.
Weekend inspections and advisory notices have also become part of the EPA’s ongoing field operations, providing both deterrence and opportunity for voluntary correction. Such actions ensure that businesses are reminded of their obligations before sanctions become necessary. However, voluntary compliance has its limits. The reality remains that without enforceable penalties and swift prosecution, chronic offenders will continue to exploit leniency at the expense of public peace.
The proposed legal mechanism to empower the Police to charge offenders under EPA regulations represents an advancement in bridging this gap. It will enable faster response times, streamline case management, and bring the weight of law enforcement to bear on offenders. In doing so, it signals to the public that noise pollution, often dismissed as a minor nuisance, is a legitimate environmental and social harm requiring serious attention.
Moreover, this collaboration aligns with Guyana’s environmental management goals. As the nation continues to expand its industrial and urban footprint, effective environmental regulation must evolve to match new challenges.
The EPA’s initiative, therefore, addresses noise nuisance and also sets a precedent for similar inter-agency collaborations in areas such as air, waste, and water management. Environmental governance in the 21st century demands integrated enforcement, data sharing, and public accountability, all of which this partnership can help to achieve.
Ultimately, the EPA’s move is as much about governance as it is about sustainability. It reflects a recognition that environmental laws must be living instruments, actively enforced, periodically reviewed, and supported by institutional synergy. When the Police are formally empowered to charge offenders under EPA regulations, the result will be greater deterrence, improved community relations, and enhanced credibility for environmental enforcement overall.
Noise pollution is not an inevitable by-product of development; it is a controllable condition that requires collective discipline and institutional will. The EPA’s strengthening of its enforcement regime through collaboration with the Police represents a decisive shift from tolerance to accountability, one that, if implemented effectively, could restore peace and order to many of Guyana’s communities. This initiative deserves both public support and continued institutional commitment to ensure that the right to a healthy, peaceful environment is not merely aspirational, but fully realised.

By Dr. Kumar mahaBir & Shalima mohommeD
Unique to Indian history in the Caribbean is the fact that early immigrant labourers worked in Belize in the sugarcane as well as lumber and banana plantations. As early as the 1860s, they worked under the employment of American ex-confederates.
Indians now comprise about six percent (or 12,000 persons) of the multi-ethnic population of Belize. As a cultural activist, Sylvia Gilharry Perez has dedicated herself to revitalizing East
Indian culture in Belize. She is devoted to reclaiming and promoting Indian heritage in the form of festivals, campfires, storytelling, beauty pageants, cooking workshops, dance performances, summer camps, and cultural presentations.
We must celebrate iconic people, like Sylvia, as living legends to honour their contributions.
We must recognize their impact while they are alive. These tributes allow them to see our appreciation of their work which should motivate others to follow in their footsteps.
The following are excerpts from an IndoCaribbean Cultural Centre (ICC) Thought Leaders’ Forum (16/03/2025). The ZOOM program was chaired by Shakira Mohommed and moderated by Shalima Mohammed, both from Trinidad. This program was supported by Raj Jadoo of Trinidad and Tobago. There were five speakers
in the program. The topic was “Living Legends in the Indian Diaspora: Cultural activist Sylvia Gilharry Perez of Belize.”
These comments were made during the program:
DR ALBERT WILLIAMS
said: “One of the most memorable projects I worked on with Miss Perez was the 2014 Indian Diaspora Conference in Belize, co-organized by Dr. Kumar Mahabir. I was proud to be part of the team, supporting paper submissions, program development, and event coordination. Miss Sylvia was an exceptional leader throughout. She has been a powerful ambassador for our community, representing us across the Caribbean and beyond. While others have come and gone, she has remained a constant, dedicated presence. Among her many contributions, she created Masala Park, personally investing time and effort into its development. I strongly recommend renaming it in her honour: Sylvia Gilharry Perez Masala Park. Miss Sylvia also produces an annual calendar that celebrates East Indian people, culture, food and community projects.”
TRICIA HALL PEREZ said: “Embracing her cultural heritage, she continues to give voice and visibility to East Indians in Belize. One thing I have observed is that, growing up, I often heard people use the term ‘coolie’ to refer to us - a term that is derogatory. However, through her efforts to educate and correct this usage, I now hear it much less. People are in-
creasingly using the proper term ‘East Indian,’ which shows that the public is becoming more informed and respectful.”
JASON HALL MARTINEZ said: “My Auntie Sylvia and my mother were among the first women in our family to start wearing saris for festivals, special occasions and important family gatherings. It felt foreign to us at first as we have been heavily influenced by Western culture. So, it took some time to adapt and to appreciate the value of wearing these outfits. Over time, we came to see them as powerful reminders of our heritage and our connection to the subcontinent. Auntie has played a significant role in this journey. She is one of the few in our family who has returned to our ancestral India to see firsthand where we came from and who we are. In doing so, she has set a standard for usto nurture and preserve our ties to our roots. She was also the first to take the time to remind us that traces of our language and culture still live. By nature, she is an educator, and spends time teaching us about Indian culture that was lost along the migration and integration path our families have travelled.

DR KUMAR MAHABIR said: “My presentation is a tribute to Sylvia, an icon who deserves to be emulated. She is a warrior - although she has little support, she continues to lead a battle with remarkable strength and determination. Today, we honour her and all that she represents. We also express our hope that future generations will carry on her legacy with the same perseverance, courage, strength and vision.”
SYLVIA GILHARRY PEREZ said: “I believe it is our duty to take up the challenge of recapturing, serving and promoting our culture. In sharing our culture, I have faced many setbacks and encountered difficult, even heart-breaking situations that made me feel like giving up. The journey has not been smooth or easy, but I can honestly say that I have gained far more than I have lost. I have been fortunate to witness some aspects of our culture being revived; traditions passed down by our ancestors that they themselves never had the chance to see flourish. Seeing these moments brings me immense joy. I will continue to embrace our heritage and promote unity in diversity by reviving the past.”
Dear Editor,
The recent national appeals by President Irfaan Ali and Vice-President Bharrat Jagdeo for renewed civic responsibility, public order and moral awareness represent an important moment in Guyana’s development.
Both leaders recognize that physical progress alone cannot sustain a nation; values must accompany transformation. Their message resonates deeply across Guyana: respect for others, pride in community, and responsibility for shared spaces must be restored.
However, if the State is to successfully foster a new moral culture, it must begin by understanding how communities themselves interpret the social changes unfolding around them. Rules, policing, and infrastructure projects cannot carry the full weight of moral renewal.
The question we must confront is not only what
people are doing, but what those actions mean to them in context. Anthropology is the discipline specifically concerned with that question.
Anthropology seeks to understand behaviour from "the native’s point of view,”as the eminent scholar Clifford Geertz once wrote. It studies the meanings embedded in everyday practices: how people negotiate norms, status, belonging and enjoyment; how they justify behaviours that might appear contradictory; and how they construct moral worlds that are sometimes different from the values promoted by the State.
When we look at a West Coast corridor -Leonora, Anna Catherina, Cornelia Ida - we see communities struggling with issues of noise, disorder, declining sports infrastructure and the rise of commercial leisure. These challenges are visible. But their underlying moral significance is less visible and must be in-
terpreted.
Consider the cricket ground in Cornelia Ida. On the surface, its disuse appears to reflect neglect or indifference. Yet this is a village that has produced national cricket talent and once rallied around that field with deep pride.
Anthropology invites us to ask: What has shifted in the aspirations of young people? What meanings are now attached to sport, competition, and public achievement? Why does the nightlife venue attract energy that the cricket ground once commanded? The answer cannot be found in maintenance schedules alone.
Similarly, in Leonora, complaints of disruptive nightlife are regularly framed by authorities as simple failures of enforcement. But for participants, the noisy weekend space may represent freedom, status, escape from economic strain, or pride in a modern social scene.
In Anna Catherina, the
dominance of a nightclub is not merely the absence of alternatives; it is the presence of a particular vision of youth identity, one shaped by music, fashion, and the thrill of urban belonging.
And when residents express concern about litter and environmental disrespect, yet participate in the very practices they denounce, they are navigating complex tensions between desire, convenience, community norms and collective responsibility.
These examples remind us that moral decline is not merely a deficit of discipline. It reflects contested meanings: what counts as enjoyment, what counts as respect, what counts as progress. Anthropological inquiry enables government and stakeholders to understand these meanings before designing interventions. Without such insight, solutions risk chasing symptoms while the causes remain untouched.
Moral renewal is there-
fore not a call for bureaucratic expansion, but for intellectual expansion. It requires the State to partner with researchers, educators and communities in a collaborative effort to decode the cultural logics shaping behaviour.
Public order will become sustainable only when it aligns with how citizens experience dignity, pride, leisure and hope. Youth will embrace alternatives to disorder only when those alternatives resonate with their understanding of success and belonging. Spaces like cricket grounds will come alive again only when they are reconnected to the symbolic aspirations of the people they serve.
The West Coast corridor, with its vibrant cultures and very real pressures, presents an ideal setting for a research-and-action initiative to model a new approach. Understanding must precede engineering; meaning must inform planning. Guyana's govern-
ment cannot try to transform community life while overlooking or failing to understand the interior life of community culture.
Our leaders are right to call the nation toward higher values. Anthropology offers a disciplined way to discover how those values can take root, not as instructions, but as lived commitments.
If we hope to restore civic pride and rebuild the social foundations of our villages, then the work must begin with listening, interpreting, and learning from the people who are living the change. This is the work of experts called anthropologist no less that building bridges require the expertise of engineers.
Moral renewal requires sound cultural knowledge. The place to seek that knowledge is in anthropological research.
Sincerely, Dr Walter H Persaud
Dear Editor,
In the wake of Hurricane Melissa, which is making its way through the Caribbean and Jamaica in particular, we have witnessed an exemplary display of regional solidarity and compassion from President Irfaan Ali and the Government of Guyana.
While several Caribbean countries have focused solely on the evacuation of their citizens from Jamaica, President Ali chose a broader, more humanitarian path, offering support not only to Guyanese students and nationals in Jamaica but also extending assistance to the wider Jamaican community affected by the storm.
This gesture is significant as it underscores the President's unwavering commitment to the principle of Caribbean unity and a shared destiny. It also reflects a leadership style that is grounded in empathy, re-
gional cooperation, and the understanding that true strength lies in standing together during times of crisis.
President Ali's response demonstrates that Guyana's role in Caricom goes beyond borders and politics. It is about people, compassion, and genuine partnership.
Unfortunately, despite the government's commitment to Jamaica during this crisis, recent statements emerging from the camp of the WIN party show another one of their desperate attempts at attacking the government. They are claiming that the government has neglected Guyanese students in Jamaica. This is not only misleading but entirely false.
The facts speak otherwise. The Guyanese Embassy and consular representatives have been in constant contact with students, ensuring their safety,

providing updates, and coordinating with the Jamaican authorities to offer the necessary support.
The government's intervention was immediate and proactive, focusing on the safety and well-being of all. If this move by the WIN party is any indica-
tion of what they will be like in Parliament, then we are surely in for a treat for the next five years.
At a time when misinformation is easily disseminated and spread, it is important to acknowledge the truth. Guyana's leadership under the PPP/C has always

been steadfast, responsive, and compassionate. Instead of using moments of crisis for political gain, we should recognize and commend efforts that embody the true spirit of Caribbean brotherhood.
President Irfaan Ali's actions during Hurricane Melissa remind us of the kind of leadership the region needs most critically at this time: the kind that extends a helping hand rather than drawing lines between "us" and "them."
Sincerely, Shivesh Persaud

00:00 Sign Off 06:00 Cartoons 07:00 Evening News (RB) 08:00 Movie - Mikolo (2023) 10:00 Stop Suffering 11:00 Anthony Bourdain Parts Unknown 12:00 News Break
12:05 Indian Movie - Badmaash Company (2010) 14:30 Movie - Sweeter Than Chocolate (2023) 16:00 Indian Soaps
17:00 The Young & The Restless
18:00 TVG Music Break
18:30 Teaching the Truth in Love
19:00 The Evening News
20:00 Stop Suffering
20:30 Abbot Elementary S3 E8
21:00 Fire Country S3 E20
22:00 Tom Clancy's Jack Ryan S2 E2
23:00 The Outpost S2 E6


The figure below is a grid. A grid has a horizontal axis, known as the x-axis, and a vertical axis, known as the y-axis. All points on a grid can be expressed, or identified, by two numbers: the x-coordinate which indicates where the point is located on the x-axis and the y-coordinate which indicates where the point is located on the y-axis. Each point is identified using the x and y coordinates in an ordered pair.

The point where the vertical and horizontal axes meet is the origin. The origin is identified by the ordered pair (0,0). The x-coordinate indicates how far the point is to the right (positive) or how far to the left (negative) of the origin. The y-coordinate indicates how far the point is above (positive) or how far below (negative) the origin.
Example:


To find the x-coordinate, move your finger along the x-axis to the point. To find the y-coordinate, move your finger along the y-axis to the point. To identify the ordered pair , put the two coordinates in brackets – the first number is the x-coordinate and the second number is the y-coordinate. In this figure, point A can be expressed as A (1, 4) and point B can be expressed as B (– 3, – 2).
Exercises: Give ordered pairs

Make these birdseed feeders in any shape! Make bird feeders out of birdseed in just about any shape. It's so easy and these won't fall apart like some recipes!
For this project you will need:
Bird seed
Unflavoured gelatin
Cookie cutters
Aluminium foil
Plastic straws
Instructions
In half a cup of warm water dissolve one packet of gelatin. It will froth and foam and that’s completely normal.
Stir in your bird seed until well coated. Oh,– the smaller the seeds the easier things seem to go. I got this stuff with huge peanuts and chunks of dried fruit and it worked okay but the

ones I made with the itty bitty seeds left behind in the bowls worked so much better!
Allow the birdseed to soak in the gelatin until it is no longer liquid-y.
Wrap aluminium foil around the bottom of a cookie cutter to act as a mould for your shapes.
Fill the forms with the wet birdseed and pack in as firmly as possible. Use a straw to make a hole to hang the feeders up with. Allow the shapes to sit in the fridge for a few hours to set up.
Remove the shape from the cookie cutter and push the straw through the back to make sure your hole is nice and clear.
Using baker’s twine, hemp or yarn run through the holes to hang the feeders through. And be sure to let anyone around know this isn’t edible.
Now I have to tell you if you hang these guys up straight away and they are in the sun or the heat things aren’t going to work out well. The gelatin will melt and you’ll have a puddle of seed on the ground. (dreamalittlebigger.com)

by Sue Ikerd
He has been a farmer all of his life, long before he took a wife, he knew he was meant to work the soil.
His days on this earth would be spent in toil, planting the crops and clearing the land. This was all part of the Master's Plan.
As in his father's and grandfather's days. For generations this had been the ways. in which they would work the land and the sod, drawing nearer to nature and communing with God.
To each of his neighbors he lent a hand They worked together to farm the land, in autumn when the harvest came, each one in turn did the same.
All through the week they labored each day, but on the Sabbath they gathered to pray.
To thank Him for His blessings and love, what they gathered on earth had come from above . . . When his children were born he watched them grow. He taught them the lessons so they would know, and learn the ways of country and farm, of love, truth, respect and to do no harm to creature on land or those in the air, and to be good stewards of the land in their care.
He watched them ride horses and float down the stream, but he knew that their future could not be his dream. This farmer he realizes that he has wealth beyond measure, because here on this farm he has found all his treasure.
With his family around him, for wealth there's no need. With all of His blessings he's a rich man indeed. His breed is a rare one, it's becoming extinct, with this world's busy lifestyle, there's no time to think. Life's becoming too hectic and people miss out, on all of the beauty that lies roundabout.
This farmer can see it as he goes through his days, From bird's nests to sunsets, each free for the gaze.
The path that he's taken is different than most. He's content in his heart and has no need to boast. His drumbeat is different but he follows its sounds, with his dog by his side he walks over this ground, of the land that he loves, he will do it no harm, The place of his birth, the old family farm.






For Samantha Roach, life has come to a heartbreaking halt as her six-year-old daughter, Soraya Bourne, lost her life in the explosion at the Mobil Service Station on Regent and King Streets, Georgetown, on Sunday evening and all she now wants is justice.
Speaking to reporters, on Monday at her Werk-enRust, Georgetown residence, the devastating mother expressed grief and plea for accountability to find the person responsible for the deadly incident.
“I need justice. I need some kind of justice for my daughter. I would like the police to conduct a swift investigation into this [alleged] Spanish man and see it through until justice is served. A child doesn’t deserve a death like that. It’s an unbearable burden,” she said with her eyes drowned in sorrow.
Traumatized by reports about the condition of the other persons involved in the explosion, she revealed the graphic scene at the hospital when she arrived.

Moreover, Education Minister Sonia Parag visited the family and reaffirmed that President Dr Irfaan Ali, along with Home Affairs Minister Oneidge Walrond and other law enforcement agencies, are working diligently to apprehend the main suspect and conduct a thorough investigation.
“This tragedy has been felt by all of Guyana,” Minister Parag told the family. “You are in our thoughts and prayers.”

vided to all affected, particularly the two hospitalized children, for as long as necessary.
The tragedy is made even more depressing as Soraya’s seventh birthday was only two weeks away.
The grieving mother shared that before the accident, her daughter had been eagerly looking forward to celebrating her special day. She further explained that on the night of the tragedy, her mother along with sister took the children to pur-
“[My daughter’s eyes were] pulping out, her face was damage. The rest of the family… some of their brains are showing, others have holes in their faces. I really can’t explain it. I can’t. But I need justice. That’s all I ask. For them to give me justice.”
chase KFC – something they normally do every Sunday. She also recalled her last moments with her now deceased daughter. “She went and buy a drink for her father and come running back into the yard, so I asked why you running… not knowing she see the car light and she running to go with them… she was all excited to go with them.”
However, the explosion also left several others injured, including Sadiya McClintock, Rashad Lord, Genica Hooper, and Yvonne Jonas.
Minister Parag also committed the Ministry of Education’s full support to the affected families. The Ministry of Health is also providing the necessary medical assistance to ensure all injured persons receive proper care. Parag was accompanied on her visit by Ms. Mischka White-Griffith, Chief Planning Officer of the Education Ministry.
Meanwhile, the Human Services and Social Security Ministry announced it will cover funeral and wake expenses, while the Child Care and Protection Agency (CPA) will conduct daily hospital visits to monitor the condition of the injured children. Counseling and psychological support will also be pro-
On this note, Director of the Childcare and Protection Agency (CPA) Levine Gouveia and Manager of the Difficult Circumstances Unit (DCU) Jashudra SeeramLackhan visited the family to offer ongoing assistance.
“We express our heartfelt condolences to the family of six-year-old Soraya Bourne, who lost her life in the tragic explosion on Regent Street. Our prayers are with them, and with the children and adults who remain in critical condition at the hospital.”
Immediately after the explosion on Sunday evening, Gouveia arrived immediately at the scene before proceeding to the Georgetown Public Hospital Corporation (GPHC) to support the victims’ families on behalf of Minister Vindhya Persaud and the Ministry of Human Services. As the investigation continues, the nation mourns the loss of a young life cut tragically short, while Samantha’s call for justice resonates across Guyana. Up to press time, the Police have issued wanted bulletin for two men suspected to have been involved in explosion.

Ongoing investigations/ wanted bulletin
Following the explosion, members of the Criminal Investigation Department (CID) processed the scene and collected several items of evidential value, including fragments of black plastic bags and adhesive tape, which have been sent for forensic analysis. Detectives also found a hole at the location, which is believed to have been caused by a bomb that detonated. As such, a team from the Guyana Forensic Science Laboratory, which includes Indian forensic scientists specialising in fire and explosive scene investigations, is lending support to the ongoing probe.
Following their assessment, the team will advise on any additional resources or measures required to expedite the investigative process.
Nevertheless, the GPF has issued a wanted bul-
letin for the alleged suspect who was captured on CCTV footage disposing of the black garbage bags. In addition, Roberto Fuentes, the alleged owner of motor car, PSS 7874, who was wanted is now in Police custody.
The police later Monday evening reported that three persons including a male Venezuelan national, have been taken into custody and are being interrogated in connection with the deadly bombing.
Police stated that after reviewing the CCTV footage, investigators conducted a coordinated operation that led to the interception of a silver motor car, PSS 7874 which was used to transport one of the suspects.
The vehicle was subsequently located and the three mentioned individuals were arrested and are in custody. Further information ob-
tained from these arrests has provided key leads to investigators. The principal suspect, who remains at large, is being actively sought as the investigation continues.
“Investigators continue to assess the scene of the explosion. Damage was observed to the Mobil minimart, storage bond, and four fuel pumps, as well as to several nearby buildings - including the KFC outlet, adjoining commercial establishments and portions of the High Court - consistent with shockwave impact from the blast,” the GPF stated.
Heightened state of security
Meanwhile, both the Private Sector Commission (PSC) and the Georgetown Chamber of Commerce and Industry (GCCI) support the stance taken by President Ali's call for a large-scale investigation. The PSC urges all busines-
ses and every citizen to be alert to the seriousness of this matter and to maintain a maximum and heightened state of security and vigilance. "This tragedy underscores the urgent need for stronger safety and security practices across the country to protect lives and property, and we continue to work with and support our national authorities in upholding these standards," the
Commission stated.
The GCCI expressed a similar sentiment, adding that the incident has highlighted the importance of vigilance concerning domestic security and the wellbeing of citizens. "The Chamber urges law enforcement to ensure that a thorough investigation is conducted, that the perpetrator is brought to justice, and that a recurrence is prevented. Public security must be preserved and protected, and the GCCI urges the public to report any suspicious activity to the relevant authorities."
Both organisations extend condolences to the grieving family and loved ones of Soraya Browne and wish a speedy recovery to those who were injured in the explosion.



Thirty-seven-yearold Robert Hoosein of Crane Housing Scheme, West Coast Demerara (WCD) who shot and killed Lance Corporal Richard Marvin Hayes during an alleged confrontation was on Monday slapped with a manslaughter charge and released on $1 million bail. It was reported that Hayes who was attached to the Impact Base, Brickdam Police Station, was shot

dead on Thursday last by Hoosein at Stelling Road, Vreed-en-Hoop, WCD.
Following the fatal shooting a .32 Taurus pistol registered to the businessman was confiscated and his licence revoked. It was reported that Hayes of School Street, Vreed-en-Hoop, WCD visited the suspect's cellphone shop one day prior to the shooting and inquired about several mobile phones he intended to purchase but

later left. However, he returned the following morning to the place of business, walked into the stall, and indicated his interest in purchasing a phone but again walked back out. At the time, the suspect was reportedly packing boxes in his store and claimed that Hayes began to behave in a hostile manner, and he was asked to leave the premises. He also claimed that Hayes continued his hostility during which, it is alleged that he picked up a cellphone heat gun and threw it at the suspect, hitting him in the chest. This led
to a confrontation which led to the suspect drawing his firearm and discharging one round which struct Hayes in his right-side chest. Meanwhile, upon hearing the loud explosion of a gunshot, the victim's brother, who operates a barbershop in close proximity, rushed over and saw Hayes bleeding from his chest. He was taken to the West Demerara Regional Hospital (WDRH) where he was treated but subsequently succumbed. The suspect was arrested, charged and subsequently released on bail.
Twenty-one-year-old
Elijah Douglas, a miner from Karau Village, Mazaruni River, Region Seven (Cuyuni-Mazaruni), was on Monday sentenced to a two-year suspended sentence for an 'Obtaining by False Pretense' charge.
Douglas, who was arrested on October 25, 2025, appeared before Magistrate Tariq Mohamed at the Bartica Magistrate's Court, where the charge was read to him.
He pleaded guilty and was sentenced to a two-year suspended sentence.



News that a massive explosion was set off at a gas station in the heart of commercial Georgetown shocked your Eyewitness to his core!! It was bad enough that a car buying gasolene – with a family inside – was caught in the conflagration and was completely destroyed – killing a poor, eight-year-old girl!! But this wasn’t no accidental explosion – such as we’ve experienced from defective cooking gas bottles – but one deliberately set by a “Spanish looking” man!! And it was also no ordinary “channa bomb” that we know about – but what’s today called an “Improvised Explosive Device – IED” that are used by terrorists!!
“What the heck?!!” thought your Eyewitness…this was – in the immortal words of Yogi Berra – like déjà vu all over again!! Wasn’t it back in May we had one of these IEDs hurled at the police outpost in East Ruimveldt? And by two “Spanish speaking men”— along with a named Brazilian dude?? And then a little while later – not too far away on Mandela Ave – another IED was hurled at the GPL Substation there!! Now from what your Eyewitness knows – from passing that substation rather regularly - there are fuel storage tanks that could’ve been set ablaze!! And what a blaze that would’ve been – visible for miles!! Luckily, whoever threw the bomb was no prospect for fielding on the boundary of a cricket field – and as with the E Ruimveldt Police Outpost – just some innocuous damage was inflicted.
But as with the IED at the mid-town gas station, it’s clear that the intent was to create fear and mayhem in the Guyanese populace. At that time, Mad Maduro was in the throes of “annexing” Essequibo – and your Eyewitness had pointed out we shouldn’t rule out the possibility that just as his Sindicatos were shooting at our GDF at our border, his embedded Tren de Argua plants might be behind the bombings.
The Police had issued wanted bulletins for the men for “acts of terrorism” – and they later picked up a Guyanese bus driver who’d transported them. The latter told the Police the Brazilian had told him the Spanish-speaking men had come to Guyana to do “bad things”!! So now we have a Spanish speaking man who chose to bomb a gas station not only dispensing gasolene, but with dozens of filled cooking-gas bottles!! The biggest Bang!! And what’s the context?? The US is closing their naval noose around Mad Maduro’s neck –and he’s hit out at T&T and us for “facilitating the Yankees”!! We were never informed whether the Police ever apprehended the first bombers – but we hope they’ve improved their intel-gathering capabilities in the Venezuelan community.
They ain’t all what they claim – poor refugees!!
We’ve been complaining about the paltry 14.5% of revenues we get for our oil – because of the shi**y contract the PNC signed with ExxonMobil!! But in addition to spending those funds as wisely as we can, we can also increase the net amount earned by selling our oil directly to the market – rather than using middlemen – who gotta be paid a percentage!!
Now you’d think the govt would’ve done this from the beginning – since we know buyers like India, etc, that would take our prized Brent crude!! But selling oil ain’t the same as selling bora – the present level of our sales expertise!! At the 1 million bpd output we’ll soon reach, we’re talking about filling a million-barrel tanker every week!! Oil’s sold at “spot” – immediate delivery – or “futures” which can – and are –traded among oil speculators!
So now that the Government’s finally decided to take the plunge, it’s prudent that they’ve emphasised the need for our own people to be trained!!
…hackles
While the Government’s chosen to comment on the US naval buildup in the Caribbean Sea from our national security concerns vis-à-vis Mad Maduro’s threat, PNC leader Norton has announced he’s opposed to US intervention!!
Is this the party’s position?



resident Dr. Irfaan
PAli is presently in Saudi Arabia for the 9th Edition of the Future Investment Initiative (FII9), which will see world leaders gathering to forge the key to global prosperity, unlocking new solutions and pathways forward.
The pinnacle of the threeday event will also feature the assembly of global investors and pioneering minds that translate thoughtful
debate and long-term vision into collaborative actions.
On this note, the Guyanese leader is leaving no stone unturned and is moving swiftly ahead to hold talks with influential leaders. On Monday, he met with His Royal Highness Crown Prince Mohammed bin Salman Al Saud to discuss strengthening Guyana's partnership in several sectors, including biodiversity, energy, food, sports, and in-
frastructure.
Following the discussion, an implementation and follow-up mechanism was agreed to be established between the two nations.
President Ali's last visit to Saudi Arabia was back in 2023 for the inaugural Caricom-Saudi Arabia Summit, which ran from November 16 to 19.
However, the Guyanese Head of State has met with several high-profile Saudi
leaders over the years to forge bilaterial partnerships. Back in September 2021, the Guyanese Head of State met with His Highness Prince Faisal bin Farhan Al Saud on the sidelines of the United Nations General Assembly in New York City.
During that engagement, the two countries discussed partnership and collaboration in oil and gas, as well as issues relating to COP26 and the development of a nuanced approach to a decarbonized world.
In 2020, Guyana applied to the Saudi Arabia-based Islamic Development Bank (IsDB) seeking financial support for the Hinterland Electrification Programme and intends to use some of the proceeds to fund the construction and rehabilitation of two small hydropower plants at Lethem, Region Nine. These are a 1.5-megawatt (MW) plant at Kumu and a 0.7 MW plant at Moco Moco.
The IsDB is one of Guyana's newest development partners; Guyana joined in 2016. Its goodwill was demonstrated when the bank offered Guyana a US$900 million package for mainly infrastructural development works in the pe-

riod 2018-2020.
In addition, President Ali met virtually with IsDB President Dr. Bandar Hajjar in June 2020, during which they discussed plans for rebuilding in the aftermath of the countrywide floods.
However, in September last year, Saudi Arabian Minister of State for Foreign Affairs and Climate Envoy Adel Al Jubeir and a team visited Guyana and met with President Irfaan Ali. During the meeting, President Ali shared his vision for Guyana and discussed investment opportunities in the country, infrastructural devel-
opment, renewable energy, agriculture, the oil and gas sector, and economic cooperation.
Vice President Bharrat Jagdeo and Foreign Affairs and International Cooperation Minister Hugh Todd joined the President at the meeting. Meanwhile, only recently, the Arabian Drilling Company of Saudi Arabia was awarded the second deep-water block-D1-following the oil block auction. Guyana established formal diplomatic relations with the Kingdom of Saudi Arabia on February 22, 2012.


–
Former Director General of IICA and former senator of Barbados, Chelston Brathwaite has endorsed Guyana’s agricultural engineer, Dr. Muhammad Ibrahim as the ideal candidate to lead the Inter-American Institute for Cooperation on Agriculture (IICA) especially at a time when agricultural activity is facing difficult challenges in the Western Hemisphere and globally.
“The election of Ibrahim would be very valuable not only for the Caribbean, but for the entire Americas. He has extensive experience in management and leadership in areas such as agricultural research, science and innovation, livestock systems, agribusiness and sustainable agriculture. He is very well qualified for the position and I am sure he would do a very positive job for the entire hemisphere," Brathwaite who was head of the hemispheric organization between 2002 and 2010.
The new Director General of IICA—who will succeed Argentina’s Manuel Otero— will be elected on November 4, 2025 in the Brazilian capital, Brasilia, by the ministers of agriculture of the Americas.
Ibrahim, who was nominated by the Government of Guyana and has the support of all the countries of the Caribbean Community (CARICOM) as well as several others in the Americas, is a distinguished agronomist with more than 35 years of


experience in international management dedicated to promoting productivity and resilience in the agricultural sector in the Americas.
He holds a master's degree in Agricultural Sciences and Natural Resources with an emphasis on Animal Nutrition and a doctorate in Agricultural and Environmental Sciences with a specialization in Livestock, the latter from Wageningen University in the Netherlands, one of the world's leading institutions in agricultural research.
"Food security is a very important issue today for the countries of the Americas. We must place particular emphasis on food quality, because nutrition affects the health of our populations. It is also crucial to ensure not only the availability of food, but also access to it for all. I am convinced that Muhammad Ibrahim can be the best leader to promote
greater cooperation between countries on these issues," Brathwaite noted.
Experience and knowledge Brathwaite, who will travel to Brasilia to support Ibrahim's candidacy, emphasized that the world today is experiencing times of geopolitical change. “We are seeing a new scenario around the world,” he said, "which means that relations between the countries of the Caribbean and Latin America, and between our nations and the rest of the world, will take on a different form in the next decade.
“I am convinced that Ibrahim will bring the experience and knowledge necessary to help us address that reality." Brathwaite referred to other challenges facing agriculture, such as population growth, more frequent extreme weather events, and greater consumer demands, and argued that these chal-

lenges require increased production, productivity, and sustainability in agriculture.
“We need to be able,” he said, "to create the right environment for a new agriculture that takes into account the new technologies available to increase production and attract greater investment. The agricultural sector is at a crossroads in meeting these demands. In the Caribbean, for example, we are looking for new sources of food. “
“I will go to Brazil con-
fident that Muhammad Ibrahim will be elected to the position and will work to unite the hemisphere in joint efforts in favor of modern agriculture for everyone on the continent," he concluded.
Back in June, Guyana nominated Dr. Ibrahim to be the next Director General of the Inter-American Institute for Cooperation on Agriculture (IICA), and according to President Dr Irfaan Ali, this candidacy presents an opportunity for Latin America and
the Caribbean (LAC) to work together to further develop agriculture in the region. The Guyanese Head of State made these remarks on a Spanish news outlet Agencia EFE.
“This candidacy, which is from Guyana and also Caribbean and South American, like our country, is an invitation to work together for the agricultural development of Guyana and the Caribbean,” Ali was quoted by EFE as saying.

An intelligence-led operation in Tuschen, East Bank Essequibo (EBE) on Monday has led to the arrest of a 19-year-old housewife and a female security officer following the discovery of a quantity of cannabis, a firearm, and ammunition.
Police stated that ranks conducted special operations across Regional Division Three (Essequibo Islands-West Demerara) aimed at enhancing public safety and suppressing criminal activity.


The pistol and ammunition that were discovered at a house along Stelling Road
However, while at Tuschen New Housing Scheme, 48.8 grams of cannabis were discovered at the home of the teenage housewife. Meanwhile, later in the day, ranks discovered a pistol along with five matching rounds of ammunition at a house along Stelling Road, Tuschen, EBE. A 19-year-old female security officer of Tuschen Housing Scheme was arrested. Both matters are still under active investigations.


– outlines Govt’s long-term vision to transform Guyana into a biomedical, life sciences hub – as 22 new pharmacists inducted

Health Minister, Dr Frank Anthony on Sunday revealed that discussions are underway with several international pharmaceutical companies interested in partnering with Guyana
clinical care and become a producer of pharmaceuticals. Our biodiversity provides a rich source of natural compounds that can lead to new medical discoveries. We need scientists and pharmacists who can help

to produce biosimilars, medicines equivalent to well-known drugs such as Ozempic.
“These partnerships will open doors for industrial pharmacy and local pharmaceutical manufacturing. We are laying the groundwork for a future where Guyana not only delivers high-quality healthcare but also contributes to global pharmaceutical innovation,” Dr. Anthony said.
This revelation was made during the White Coat Ceremony held at Cara Lodge, Quamina Street, Georgetown on Sunday to introduce 22 pharmacy graduates who would have completed their studies in November 2023 and spent the past year interning at various health facilities across Guyana are now officially licensed to practices.
He further outlined the government’s long-term vision to transform Guyana into a biomedical and life sciences hub, an initiative designed to foster pharmaceutical research, innovation, and manufacturing.
“We aim to move beyond
us harness these resources responsibly and effectively,” he said.
To advance this goal, Guyana is preparing to sign an agreement with one of Europe’s largest life sciences parks, located in southern Belgium, to support the establishment of a local life sciences park.
Additionally, the government is finalising an agreement with a French aid organisation to facilitate capacity-building initiatives, including postgraduate training opportunities in France, Germany, the Netherlands, and other European countries.
The minister added that as part of the health sector’s modernisation efforts, the Ministry is currently overhauling the Materials Management Unit (MMU) to enhance efficiency, transparency, and accountability in the storage and distribution of medicines across the public health system.
“We are working with Ernst & Young, one of the world’s leading consulting firms, to modernize the MMU. This includes imple-

search in strengthening Guyana’s pharmaceutical and scientific capacity.
menting advanced warehousing, inventory tracking, and medication dispensing systems. For too long, we have faced losses due to expired or unaccounted-for drugs. Through digitisation, we will be able to monitor stock in real time, prevent theft, and strengthen supply chain management,” the Minister announced.
Construction has already commenced on five new regional warehouses designed to ensure medicines are stored and distributed under optimal conditions. He emphasised that pharmacists will play a crucial role in this reform process, particularly in maintaining high standards of medication management and distribution across the regions.
On this note, he congratulated the pharmacists on their achievements and urged them to embrace the growing opportunities emerging within Guyana’s rapidly evolving healthcare landscape.
“You are graduating at a very opportune time,” the Minister said. “We have just completed six new hospitals, each equipped with its own outpatient and inpatient pharmacy, and construction is underway on eight more across the country. These new facilities will require skilled and qualified pharmacists like you.”
Dr. Anthony noted that hospitals are already being built in Regions One, Eight, and Nine, while designs are being finalized for a new facility in Region Seven. Plans are also advancing for a hospital in the Mazaruni area, alongside the development of Level 5 hospitals in New Amsterdam (Region Six), Ogle, where the Maternal and Child Health Hospital is being established (Region Four) and West Demerara (Region Three).
He encouraged the graduates to continue their academic pursuits, emphasising the importance of advanced training and re-
“Pharmacy is a dynamic and exciting field. We want to see more of you advancing to PhD-level studies, engaging in research and innovation. Medicine is constantly evolving, if you stop learning, you fall behind. Guyana needs pharmacists who are inquisitive, ambitious, and committed to driving scientific progress,” he said.
Dr. Anthony further urged graduates to advocate for a more collaborative approach to patient care, highlighting that healthcare delivery in Guyana has often been too “doctor-centric.”
“In modern healthcare, all professionals involved in patient care must work as a team,” he stated. “Pharmacists play a vital role, if you notice a prescription that could cause harmful drug interactions, you must have the confidence to raise it with the prescriber, respectfully but firmly. That is how we ensure patient safety and better outcomes.”
Meanwhile, Chair of the Pharmacy Council of Guyana, Dr. Karishma
Jeeboo, reaffirmed the Council’s commitment to strengthening pharmacy education, professional standards, and regulatory oversight as she addressed the newly licensed pharmacists.
He explained that, in keeping with the Pharmacy Practitioners’ Act of 2003, the Pharmacy Council of Guyana plays a central role in regulating and supervising the internship programme for graduates of recognised pharmacy institutions.
In recent years, the Council has introduced several key initiatives to enhance the internship experience. These include expanding training sites beyond the Georgetown Public Hospital Corporation (GPHC) to regional health facilities, revising the internship manual, and enriching intern activities through structured patient care plans, medication histories, and discharge counselling.
Additionally, the Council implemented a structured exit examination, which all current graduates successfully completed, ensuring
that interns demonstrate the competencies required for professional pharmacy practice.
Dr. Jeeboo noted that the Council intends to streamline preceptorship by providing structured training and continuing education opportunities for preceptors, while also expanding internship rotations to include areas beyond clinical pharmacy practice.
As part of its ongoing mandate, the Pharmacy Council is also reviewing and updating the regulations under the Pharmacy Practitioners’ Act, 2003, and pursuing amendments to reflect the evolving scope and responsibilities of pharmacists in Guyana.
Notably, in August 2025, the Pharmacy Council of Guyana received the Caribbean Association of Pharmacists’ Excellence in Regulatory Affairs Award, which recognises Pharmacy Councils and Inspectors across the region who demonstrate exceptional dedication to ethical standards and regulatory excellence in advancing the profession and protecting public health.




The Government is finalising a new initiative in line with its manifesto commitments to improve homes for vulnerable Guyanese in the hinterland, Housing Minister Collin Croal told residents of Kamwatta, Region One (Barima-Waini) during an engagement on Sunday. He related that funds for the program are expected to be introduced in the 2026 National Budget while at the same time assuring residents that the Government remains committed to fulfilling its promises. He referenced ongoing projects such as road construction, education and skills training, healthcare improvements, and an incoming well to expand water access in
Kamwatta.
In addition, he revealed that the electrification programme is being extended to provide more residents with access to electricity while noting that the contract for this expansion has been awarded and the contractor has begun mobilisation.
"These are all commitments that we made that we will deliver on," Croal affirmed.
On the other hand, newly minted Amerindian Affairs Minister Sarah BrowneShadeek also emphasised the Government's dedication to equitable development, stressing that Government projects will ensure even the most remote communities have access to essential services and opportunities.
During the engagement, an All-Terrain Vehicle (ATV) was handed over to the village to support the Village Council in executing its official and administrative duties within the community. Meanwhile, a new bus, an all-terrain vehicle (ATV), 100 water storage tanks, and an outboard engine were handed over to the residents of Yarakita, aimed at improving daily life and community development. The 100 water tanks were pledged to residents by their parliamentary representative, Collin Croal, during a previous outreach and will significantly enhance water storage and access across the community, following the successful drilling of a new well. The new bus will

provide transportation with priority given to schoolchildren and pensioners, while the outboard engine will further support the transport of schoolchildren via boat, and the ATV will assist the
Village Council in carrying out its official duties. During the handing-over ceremony, Croal underscored the Government's commitment to putting people first, noting that these interventions re-
flect the administration's focus on improving the quality of life for all Guyanese, particularly in hinterland communities. Browne-Shadeek, however, highlighted that the assets were provided in direct response to requests made by residents, a testament to the Government's commitment to listening to citizens and addressing their needs. Regional Chairman, Brentnol Ashley further pointed to additional improvements coming to the community, including enhanced electricity access. He also shared that a community health worker will receive overseas training in telemedicine operations-part of the Government's ongoing efforts to boost healthcare delivery across the region.
Stakeholders call for strengthened partnerships aimed at achieving sustainable, inclusive fisheries management – as UG, MoA host inaugural fisheries research symposium

The University of Guyana’s (UG) Faculties of Natural Sciences (FNS), Agriculture and Forestry (FAF), and the Agriculture Ministry’s Fisheries Department last
week hosted the inaugural Fisheries Research Symposium with stakeholders calling for stronger collaborations between academia, Government agencies, and industry to ensure
the fisheries sector is developed and managed in an inclusive and sustainable manner. The event held at UG’s Turkeyen Campus under the theme “Empowering Communities: Fisheries
as a Catalyst for Inclusive Agri-Food Transformation” and brought together researchers, students, policymakers, fisherfolk, and other stakeholders from across Guyana’s fisheries and aquaculture sectors to share cutting-edge research and strengthen partnerships aimed at achieving sustainable and inclusive fisheries management.
With over 100 participants joining both online and in person, the event showcased the University’s leadership in applied fisheries science and its commitment to national development through collaborative research. Minister within the Ministry of Agriculture, Vikash Ramkissoon underlined the importance of the symposium and noted that it should be an annual activity bringing together a wide cross-section of stake-

holders to share research data, experiences and insights into the sustainable management of the fisheries sector. “The fisheries sector is ripe for research ideas, as there is need for more research in the marine, aquaculture, and inland fisheries. We are will-
ing to work with all our partners in promoting, supporting, and participating in research activities that will benefit the sector and the country as a whole,” Ramkissoon stated.



Agriculture Minister, Zulfikar Mustapha on Monday met with a delegation from
NABCONS (NABARD Consultancy Services) and officials from India’s Ministry of External
Affairs to discuss the implementation of the Quick Impact Development Project (QIDP).
Under this initiative, a grant of US$1 million from the Indian Government will be used to upgrade and
modernize the New Guyana Marketing Corporation’s (GMC) Central Packaging Facility at Sophia.
The project will see the installation of modern, automated processing equipment for fruits, vegetables, and coconuts, aimed at enhancing efficiency and productivity within the agro-processing sector.
Mustapha welcomed the collaboration, noting that the investment aligns with the government’s broader agenda to expand value-added production, improve food safety standards, and enhance Guyana’s capacity to access regional and international markets.
The modernization of the Central Packaging Facility is expected to increase processing efficiency, reduce post-harvest losses, and provide greater support to farmers and agro-processors as Guyana continues to advance its agri-food transformation agenda.

The Guyana Fire Service (GFS) continued its push to promote fire prevention and safety by taking its message straight to children through a series of “Kids Camps” across Regions Five (Mahaica-Berbice) and Six (East Berbice–Corentyne).
On Sunday, the latest camp was held at the Rose Hall Fire Station, attracting more than 60 children
between the ages of three and 16. Similar sessions were held on Saturday at New Amsterdam for children of Angoy’s Avenue, East Canje, and East Bank Berbice, drawing nearly 160 participants combined.
Divisional Fire Officer for Berbice, Clive McDonald related that the camps form part of the Fire Service’s 2025 Fire Prevention Programme and are de-
signed to teach children the importance of fire safety, first aid, and healthy lifestyle habits.
“We’ll be teaching them basic medical and fire prevention tips. By educating one child aged three or four, that child goes home and shares the message with parents and siblings, so immediately, four or five people are reached. That’s how we build safer communi-


The programme focuses on making fire prevention a household discussion.
Children were shown how to “stop, drop, and roll”, how to identify fire hazards, and how to alert adults or emergency services in case of danger. The interactive format also allowed participants to experience firsthand the work of firefighters and emergency medical technicians (EMTs).
McDonald said that while this activity targets children, the overall message is for everyone, especially given recent fire statistics for Berbice.
Between January
and September 2025, the Guyana Fire Service in Regions Five and Six responded to 264 emergency calls, including 67 structure fires that had left 105 persons homeless.
Despite these numbers, McDonald noted that the overall number of fires in the New Amsterdam district has decreased, which he attributes to ongoing public education campaigns.
“We have seen a reduction in fires within the New Amsterdam district. However, with the dry season upon us, people must remain vigilant. Many wildfires result from simple neglect, and awareness can
prevent that,” McDonald said.
He also announced that the next Kids Camp is scheduled for Corriverton next week, and the Fire Service intends to continue the initiative throughout the year.
“We don’t want to make this an annual or quarterly activity. Fire prevention must be continuous,” he added.
Sunday’s session ended with demonstrations by firefighters, hands-on learning activities, and motivational talks aimed at empowering children to become fire safety ambassadors in their homes and schools. (Andrew Carmichael)


– structure could be finished well ahead of April 2026 deadline

Construction on the US$35 million Mackenzie-Wismar Bridge is now 83.5% complete, according to a progress report released on Monday by the Public Works Ministry which indicates that the project could be finished well ahead of the April 2026 deadline.
Spanning 220 meters, the precast concrete bridge is designed to significantly ease traffic congestion and reduce the long delays that
have affected commuters for years.
Once completed, this modern structure will mirror the design of the new Bharrat Jagdeo Demerara River Bridge, serving as a transformative link for the region.
China Railway Construction (Caribbean) Co. Ltd, the project’s contractor, is maintaining impressive momentum. The company has already fabricated 26 precast concrete
girders—large structural beams that provide key support for the bridge and its approach structures.
Work on the temporary embankment and access pathway for transporting these girders has been completed, while assembly of the girder launcher has begun and is progressing roughly one week ahead of schedule.
At Pier 6 (P6), backfilling of the abutment has been finalised, and settle -

ment monitoring is in progress. Shaping of the embankment and placement of rockfill along the riverside toe piles are partially complete.
Reinforcement and formwork installation for the P0 abutment wing and backwall are ongoing. Meanwhile, Piers P3, P4, and P5 are fully complete, with only minor surface corrections pending.
Construction of pile caps at P1 and P2 is under-
way but has experienced a three-week delay. However, this setback is not on the project’s critical path, and the existing schedule buffer is sufficient to prevent any impact on the overall completion date.
The pier and abutment numbering system (P0–P6) identifies each structural point along the bridge, starting from one end.
When finished, the bridge will feature a prestressed, post-tensioned
concrete box girder design, accommodating four vehicular lanes and two barrier-separated pedestrian walkways. It will also facilitate the uninterrupted movement of hopper barges beneath it.
Crucially, the new bridge is expected to enhance connectivity and boost economic activity in Region 10, establishing the area as a vital hub for international trade and development.
...over 200 businesses already registered
As Guyana prepares to host GuyExpo 2025, Tourism, Industry and Commerce Minister, Susan Rodrigues, has reaffirmed the government’s commitment to using the event as a platform to connect local entrepreneurs with international markets and strengthen Guyana’s manufacturing sector.
Speaking during the televised programme “Guyana Today” ahead of the highly anticipated four-day event billed for November 13-16, 2025, Rodrigues said that the premier event promises to deliver “four days of fun, family, and business development” while playing a pivotal role in advancing Guyana’s econom-
ic diversification efforts.
She explained that this year’s exhibition will feature international participants from Barbados, Trinidad and Tobago, Suriname, the United States, and Turkey, among other nations.
“It's perhaps the largest trade show in the Caribbean, and we are working very, very hard this year to ensure that Guy Expo serves a particular purpose… We have companies from Barbados, Trinidad, Suriname, I think the United States, Turkey. So, we have a few international companies that are on board with us, and we also have interests from other business people around the world who are traveling for

Guy Expo. And we will ensure that during the Expo, we make those connections with our local companies so that the talent that exists within our local private sector and our small businesses here, that we can make those very important connections to ensure that a few of our small businesses here can maybe sign MOUs or form partnerships during the Expo so that they can have access to new markets.”
GuyExpo 2025 will place renewed emphasis on strengthening business partnerships, fostering innovation, and sustaining Guyana’s economic diversification.
Themed, ‘Transformation Through Entrepreneurship and Innovation’, the expo set to take place at the National Exhibition Complex from November 13 to 16.
The minister revealed that her ministry has partnered with the World Trade Center (WTC) Georgetown to enhance the preparedness of small businesses participating in trade fairs.
A major innovation at this year’s event will be a Business-to-Business (B2B) seminar, organized in collaboration with GO-Invest. The session, scheduled for the second day of the Expo, will bring together local en-

trepreneurs and international companies in a structured environment designed to foster networking, deal-making, and investment opportunities.
“And so, we submitted a list to the World Trade Center and some of our local businesses through the SBB and also some of the local businesses that have already registered as exhibitors at Guy Expo. We have given them an opportunity to be a part of that workshop that is organized tomorrow at the World Trade Center. So, they're getting an opportunity to spend a day at the World Trade Center. They'll take
part in the workshop and they will learn some valuable lessons in how to successfully participate at the trade show, at the Guy Expo, something that they can put into use very quickly because it's not just about setting up a booth or a table and displaying your products or your services. It's what happens next because the Guy Expo gives you a platform, a platform in order for you to catapult your business, start a business, enhance your business, form partnerships, find new markets. Those are some of the benefits of participating in a trade show,” she added. Communication Officer,
Allison Parker confirmed that preparations are well underway, with more than 200 exhibitors already registered. This includes major participation from the Guyana Manufacturing and Services Association (GMSA), which will showcase agro-processors and manufacturers, and the Georgetown Chamber of Commerce and Industry (GCCI).
GUYEXPO 2025 forms part of the government’s broader strategy to expand Guyana’s non-oil sectors, strengthen private sector competitiveness, and position the country as a regional hub for trade and innovation.

The campuses of the University of Guyana (UG) are preparing its 59th Annual Graduation Ceremonies to be held from November 20 to 22, 2025 at the Turkeyen Campus and on December 6, 2025 at the Berbice Campus. Some 3,600 students are expected to walk the stage making it the largest batch in the University’s 62-year history. However, the institution will host six ceremonies from November 20–22 in Georgetown and one in Berbice on December 6 to celebrate the growing number of graduates being add-
ed to the national, regional, and international workforce, in keeping with its aspirational goal of achieving “One Graduate per Household.”
The schedule of Graduation Ceremonies is as follows:
Thursday, November 20, 9:00h– 11:30h: Faculty of Agriculture and Forestry; Faculty of Earth and Environmental Sciences; Faculty of Engineering and Technology; and Institute of Distance and Continuing Education (IDCE) (IntraMural)
Thursday, November 20,
16:00h – 18:30h: Faculty of Natural Sciences
Friday, November 21, 9:00h– 11:30h: College of Behavioural Sciences and Research; College of Medical Sciences; and Institute of Human Resiliency, Strategic Security and the Future
Friday, November 21, 16:00h– 18:30h: School of Entrepreneurship and Business Innovation
Saturday, November 22, 9:00 – 12:00h: Faculty of Education and Humanities
Saturday, November 22, 16:00h – 19:00h: Faculty of Social Sciences.
He noted that the Fisheries Department is responsible for managing, regulating and promoting the sustainable development of the nation’s fishery resources. To ensure that this is done effectively, he said, “…informed management decisions must be made. Working along with the fisherfolk, ensuring data collection, analysis and research are some components which make for effective management of the sector.” Vice-Chancellor of UG, Professor Paloma MohamedMartin, in her opening remarks, underscored the role of research in informing policy and practice. She highlighted the cutting-edge research being undertaken by various departments within the University in relation to agriculture, fisheries and the marine and aquatic sciences. She noted that UG’s Biodiversity Centre, in particular, was part of an international research team last year that identified several new species of fish globally. “What was special about that is that, for the first time in our country’s history, we were actually able to identify those species here in Guyana at the University of Guyana using our own labs. So, the work of genetics here at the University, identification, mapping, etc., can now be done in-country instead of having to send our samples away for long periods to other universities and institutions. Of course, the cost and time have been reduced.” In addition to the ground-breaking research being done by the Faculties of Natural Sciences and Agriculture and Forestry, the Vice-Chancellor noted that UG’s Institute of Food and Nutrition Security (IFANS) is currently working on how to preserve surplus produce and how to create climate-resilient species in certain parts of Guyana and the Caribbean.
Mohamed-Martin also pointed to UG’s Institute of Marine and Riverine Ecologies and Economies (IMAREE), which is currently focusing on marine law, marine biology, port development and management
and riverine economies— how they are to be developed, protected, and projected. Chief Fisheries Officer of the Agriculture Ministry, Denzil Roberts, noted that “fisheries remain vital to our national development, supporting food security, employment, and community livelihoods, while contributing to the sustainable use of our marine and inland resources.” He added that the Ministry is focused on implementing strategic initiatives aimed at sustainability, modernisation, and inclusive growth within the agri-food system, noting that “research, science and technology are the pillars of this transformation.”
Roberts highlighted that the Government recognises that sustainable fisheries management “must be grounded in evidence-based decision-making, and establishing a strong partnership between the Fisheries Department and the University of Guyana is an essential component of this process.”
The symposium featured a diverse range of presentations highlighting ongoing and emerging research conducted by faculty and students at UG. Lecturer in UG’s Department of Biology, Dr Mark Ram presented his findings on marine microplastic pollution in commercially important fish species, underscoring the environmental threats posed by plastic contamination in Guyana’s marine ecosystem.
In addition, Lecturer in UG’s Department of Biology, Rovindra Lakenarine while presenting his study on bycatch in small-scale fisheries, called for a collaborative and multisectoral approach to reduce discards in smallscale fisheries, emphasising the importance of integrating fisher knowledge with science-based management.
Lecturer in the Faculty of Agriculture and Forestry, Samantha ProvidenceForrester explored consumer behaviour and the factors influencing hassar consumption, providing insights into market dynamics and food security.
BSc Biology graduate Judea Crandon shared
her research on gender roles in small-scale fisheries, highlighting the critical contributions of women across the fisheries value chain.
The UG Biology Club also delivered an engaging presentation on the role of advocacy and youth engagement in raising awareness about issues facing smallscale fishers. Additionally, Fisheries Officer in the Ministry of Agriculture, Mr Randy Bumbury, examined the challenges and opportunities in small-scale fisheries in Guyana. Several other presentations focused on the potential and progress of inland fisheries and aquaculture development across the country.
Beyond the exchange of scientific knowledge, the symposium served as a networking platform for building partnerships between UG and the Fisheries Department, as well as with other national and regional stakeholders. Discussions centred on establishing joint research projects, enhancing data sharing, and developing evidence-based policies to support sustainable fisheries management.
According to organisers, the event marks a significant step towards creating a more cohesive research ecosystem that bridges academia, Government and industry.
The symposium’s success reflects the growing recognition of the fisheries sector as a critical driver of livelihoods, food security, and national development. It also reaffirms UG’s role as a hub for scientific inquiry and policy engagement in support of the Ministry of Agriculture’s vision for a sustainable and inclusive agri-food system. UG, through its students, faculty and research institutes, has consistently produced path-breaking research that continues to add to the existing body of knowledge in various areas of academic inquiry. Within the last four years alone, the world ranking of the UG has risen by over 300 points and is steadily climbing towards the upper quartile of academic institutions worldwide.

Friday, December 5, 13:00h – 15:30h: Institute of Distance and Continuing Education (Extra-Mural)
Saturday, December 6, 15:00h: University of Guyana Berbice Campus (UGBC) Graduation Ceremony.
The six ceremonies for graduands of the Turkeyen Campus will be held at the Ameena and Sattaur Gafoor Multipurpose Auditorium, while the ceremony for UGBC graduands will take place on the University Lawns, Berbice Campus, Tain Settlement. The IDCE
Extra-Mural Programme graduation will be held at the same auditorium on December 5. The ceremonies will be blended, with the majority of graduands attending in person and the remainder participating virtually according to their preference. It is noteworthy that this year’s graduation will include students completing several new academic programmes for the first time including the Certificate in Dual Language/Multilingual Practice in Education (Faculty of Education and Humanities), the Postgraduate Certificate in Trauma and Grief Resilience (Institute of Human Resiliency, Strategic Security and the Future), and the MSc in Geographic Information Systems and Remote Sensing (Faculty of Earth and Environmental Sciences). To date, the University has produced over 70,000 graduates, many of whom have gone on to serve with distinction at the highest levels in both the private and public sectors, nationally and internationally.


As Hurricane Melissa expected to sweep down on Jamaica late Monday or Tuesday, the Government of Guyana, through the Civil Defence Commission (CDC) expressed its full support for the Government and people of its sister CARICOM State.
According to data from the National Oceanic and Atmospheric Administration (NOAA) National Hurricane Centre and Central Pacific Hurricane Centre, Hurricane Melissa has rapidly intensified into a Category 5 storm, with sustained winds estimated at around 160 mph.
Forecast charts indicate that the storm is centred about 130 to 135 miles south-southwest of Kingston, Jamaica.
As such, with the imminent landfall Guyana reiterated that the CDC has been monitoring the situation closely and remains in contact with regional partners, including the Caribbean Disaster Emergency Management Agency (CDEMA), to coordinate any potential support efforts.
Further, the CDC confirmed that Guyana remains vigilant and is prepared to assist as needed, whether through technical, logistical, or relief supplies to aid in response and recovery efforts on the ground.
“The Government of Guyana, through its Embassy and Consular

Missions, is also actively evaluating the situation of Guyanese nationals living and studying in Jamaica. They are working to ensure that all Guyanese citizens in the affected areas are safe, accounted for, and able to access emergency assistance. Provisions for relief supplies and emergency repatriation support are also being arranged in case they are needed,” a release from the CDC stated.
In addition, the Caribbean Community (CARICOM) has expressed deep concern and solidarity with the Government and people of Jamaica, as well as other Member States and Associate Members, including Haiti, The Bahamas, the Cayman Islands, and the Turks and Caicos Islands, and other countries in the Region affected by the passage of the record-breaking Hurricane Melissa.
Melissa became a devastating Category 5 hurricane over the weekend despite
having only traveled roughly 150 miles since Friday morning. At least four deaths have been attributed to Hurricane Melissa in Haiti and the Dominican Republic.
In response to the Hurricane, Jamaican Prime Minister Andrew Holness has warned that the entire island is likely to experience hurricane-force winds exceeding 100 miles per hour, heavy rainfall, and widespread flooding over the coming days.
In an official statement titled “Message from the Caribbean Community Passage of Hurricane Melissa”, CARICOM extended support to all nations within the hurricane’s path, acknowledging the widespread impact and challenges caused by the powerful system.
“We commend the efforts of national disaster management agencies and emergency responders who have been working to en-
sure everyone’s safety and well-being,” the statement read.
The Community also urged residents across the affected territories to heed official advisories and updates issued by their respective authorities, emphasizing the importance of prioritizing safety as the storm continues to threaten lives and livelihoods.
CARICOM reaffirmed its commitment to a collective and coordinated regional response, noting that the Caribbean Disaster Emergency Management Agency (CDEMA) will play a central role in supporting recovery and reconstruction efforts in the aftermath of the hurricane.
Meanwhile, Prime Minister of Jamaica, Andrew Holness has urged Jamaicans to brace for the full impact of Hurricane Melissa, cautioning that the combination of sustained rainfall before landfall and the projected intensity of the storm could result in severe flash flooding, landslides, and storm surges, particularly in low-lying and coastal areas, as well as in hilly regions vulnerable to landslides.
“It is expected that Hurricane Melissa will make landfall on Tuesday. I take this opportunity to reinforce the appeal to residents of low-lying areas, historically flood-prone areas, gully banks, riverbanks, hillsides, and other vulnerable areas to take precau-
tions to protect your property where possible, prepare your evacuation plan, and comply with the evacuation orders given. Avoid unnecessary risks such as playing in floodwaters and waterways, climbing trees and roofs during the hurricane, shelter in place, stay inside during the hurricane”.
“Shelters have been prepared, supplies pre-positioned, and emergency teams are standing by across the island. At the time of impact, the government will declare a disaster under the DRMA along with the various other measures necessary from time to time to take us safely through the periods of disaster, relief, and recovery,” the Prime Minister said.
Holness noted that early reports indicate Hurricane Melissa’s potential impact could surpass that of Hurricane Beryl, especially in terms of rainfall and flooding.
To facilitate the national response, the government has declared the entire island a threatened area under the Disaster Risk Management Act (DRMA), providing the legal framework for emergency measures.
The Prime Minister also signed a compulsory evacuation order for several south coast communities, empowering ODPEM to remove persons from highrisk zones to save lives.
Additionally, an order was issued under the Trade Act to prevent price gouging
during the disaster period.
On Sunday, President Dr Irfaan Ali announced that the Guyana Defence Force (GDF) and the Civil Defence Commission (CDC) are ready to support Jamaica, as the country braces for the devastating Hurricane Melissa.
The President also underscored that Guyana’s Foreign Affairs and International Cooperation Ministry has been tasked with mobilising the private sector and other stakeholders to “get some level of support to the students and any vulnerable families in Jamaica”.
President Ali had emphasised that Guyana stands ready to provide assistance, noting that both the Guyana Defence Force (GDF) and the Civil Defence Commission (CDC) have been placed on alert to be mobilised if support is requested.
“The Government of Jamaica has been informed of Guyana’s willingness to assist should it be required,” the statement noted. With the hurricane fast approaching Jamaica, where a number of Guyanese students are studying, Guyana’s Ministry of Foreign Affairs and International Cooperation said it is closely monitoring the situation. The Ministry has also been instructed to prepare care packages and emergency support, if required.
Afreximbank swears in Dr George Elombi as 4th President
– pledges prioritising sectors to have most impact on Africa’s trade, wellbeing
Dr George Elombi was on Saturday last sworn in as the fourth President and Chairman of the Board of Directors, taking over from Prof. Benedict Oramah, who has led the Pan-African institution since 2015 in Cairo, Egypt. Dr Elombi brings nearly three decades of experience at the bank, having joined Afreximbank in 1996 and rising through the ranks to become Executive Vice President (VP), Governance, Legal and Corporate Services. The appointment comes as Afreximbank delivered exceptional 2024 financial performance, posting a net income of US$973.5 million for FY 2024, a 29 per cent increase from the previous year. The Cairo-based institution has expanded its assets to over $40 billion while extending operations across 54 African countries and 12 Caribbean nations. The oath was administered by Chairman of the

Annual General Meeting of Shareholders of the Bank and Minister of Finance and Coordinating Minister of the Economy of Nigeria, Wale Edun in the presence of over 2,000 guests. In an inaugural address following the swearing in, The Cameroonian national and seasoned executive announced his unwavering commitment to carrying forward the legacy of the
Bank’s past, to deepening impact, strengthening partnerships, and continuing the mission of building an Africa that trades with itself and thrives on its own terms.
Dr Elombi pointed out that the structure of global trade was unfavourable to Africa and therefore, had to change as it was too dependent on the export of commodities, saying: “our mission is therefore, to transform the structure of that trade. To change the structure, we must process. We must produce. Unless we produce, we cannot trade.” Elombi announced that, over the next five to 10 years, he would prioritise sectors he believed would have the most significant and sustained impact on Africa’s trade and wellbeing, including promoting and accelerating value addition and strategic minerals processing to curb the export of raw potential. “Afreximbank will therefore, create a new, high-impact financing window, specifical-
ly for projects that process raw minerals into semi-finished goods or finished goods,” he said. “We will establish a Strategic Minerals Development Programme to finance entire value chains, from extraction and refining to manufacturing finished components, capturing much more value here at home and creating highskilled jobs for our people.”
He added that Afreximbank would prioritise the deepening of intra-African trade and regional integration as the success of its value addition agenda would ultimately depend on its ability to secure markets for the goods produced.
“We will intensify efforts to break down trade barriers, strengthen cross-border infrastructure, and foster seamless movement of goods, services, people, and capital across our continent,” he said. “Afreximbank will therefore, continue to play a catalytic role in
the implementation of the African Continental Free Trade Agreement (AfCFTA) by driving forward key programmes and initiatives developed over the past decade and by introducing new, targeted interventions, where necessary, to accelerate progress.” Other priorities outlined by Dr Elombi include catalysing and building critical trade-enabling infrastructure; leveraging innovation and digital technology, including exploring the creation of a Pan-African Digital Currency, strengthening financial integration and innovation across the continent; and mobilising global African capital. The Bank would also prioritise its financial strength in recognition that “only a strong and well-capitalised institution can make the scale of interventions required to transform Africa’s trade and development landscape,” Dr Elombi said, adding that priority would also go to growing strategic and innovative
partnerships since partnerships with relevant development institutions was central to the Bank’s mission of advancing Africa’s trade and economic transformation. “We recognise that Africa’s progress depends not only on the strength of individual institutions, but also on the power of collaboration among them,” stated Dr Elombi. The bank’s reach now extends across the Atlantic to the Caribbean region, where 12 of the 15 CARICOM countries have signed the Bank’s Participating Agreement, paving the way for Afreximbank to expand its operations into the region. This expansion reflects the institution’s broader vision of connecting African and diaspora economies. The bank hosted the AfriCaribbean Trade and Investment Forum back in July in Grenada which support the institution’s goal of facilitating trade relationships between Africa and its diaspora communities.


Jamaica is bracing for the strongest storm of the year, with US meteorologists warning of "catastrophic and life-threatening winds, flooding, and storm surge".
With wind speeds of up to 282 kilometres per hour (175mph), Hurricane Melissa is a category five storm – the maximum strength. It was expected to make landfall on the Caribbean island in the early hours of today.
The storm has already been blamed for the deaths of four persons in Haiti and the Dominican Republic.
Meteorologists warn that Melissa's slow pace means it is set to dump torrential rain on affected areas for longer, increasing the risk of deadly flooding and landslides.
The latest data from the US-based National Hurricane Centre (NHC) shows that in terms of maximum wind and low central pressure Melissa is the world's strongest storm so far this year.
In its latest public advisory update at 18:00 GMT on Monday, the NHC warned that "catastrophic and life-threatening winds, flooding, and storm surge" were expected in Jamaica "tonight and early Tuesday".
It said Melissa was currently about 233km (145 miles) south-west of the capital Kingston. It was moving "west-north-west" at just 6 kmh (3mph).
"This extreme rainfall potential, owing to the slow motion, is going to create a catastrophic event here for Jamaica," said NHC Deputy Director Jamie Rhome.
The NHC also said 100 centimetres m (40 inches of rain) was possible in parts
of Jamaica over the next four days.
The Jamaican Government has ordered evacuations for parts of Kingston, and the entire island has been classed as "threatened".
In a BBC interview, Jamaican Education Minister Dana Morris Dixon warned of an impending storm "the likes of which we have never seen".
"We've been having rain all of October. So the ground is already very saturated. And then to take that much rain means we're going to have flooding, extensive flooding and landslides in the mountainous areas," she told BBC Newshour.
The Minister added: "We have 881 shelters. We have activated all our shelters. All of them are free.''
Evadney Campbell, a Londoner currently visiting her family on Jamaica's north coast, told the BBC: "The house that I am in is hurricane proof. It is built with blocks and steel from top to bottom and is filled with concrete.
"We're checking on neighbours to see if they are OK.
"I am worried about people who live on the lowlands in parts of the south-east. Many do not want to leave their homes as they are worried about looting their houses," Ms Campbell said.
Damian Anderson, a 47-year-old teacher from the mountainous town of Hagley Gap in the southeast, said impassable roads had already cut off his community.
"We can't move. We're scared," he was quoted as saying by Reuters news agency.
Jamaica's Prime
Argentine President Javier Milei has led his party to a landslide victory in Sunday's midterm elections, after defining the first two years of his presidency with radical spending cuts and free-market reforms.
His party, La Libertad Avanza, won nearly 41 per cent of the vote, taking 13 of 24 Senate seats and 64 of the 127 lower-house seats that were contested.
His gains will make it easier for Milei to push ahead with his programme to slash State spending and deregulate the economy.
President Donald Trump congratulated Milei on social media, saying: "He's making us all look good." Before the vote, Trump made it clear a US$40 billion American lifeline for Argentina would depend on Milei keeping political momentum.
Milei's supporters welcomed that, though critics accused Trump of foreign interference in Argentina's elections.
In a nod to his North American ally, Milei told cheering supporters: "We must consolidate the path of reform we have embarked upon to turn Argentina's history around once and for all… to make Argentina great again."
(Excerpt from BBC News)
“well positioned to lead regional integration”
Government Senator Roshanna Trim has thrown her full support behind the Caribbean Community (Free Movement of Nationals) Bill 2025, describing it as a vital step toward deepening regional inclusion and integration.
Minister Andrew Holness has ordered the immediate evacuation of several vulnerable communities across the island.
In a post on X, he urged "every Jamaican to prepare, stay indoors during the storm, and comply with evacuation orders".
"We will weather this storm and rebuild stronger," he wrote.
Officials also urged residents in low-lying and floodprone areas to seek shelter in safer areas.
In some rural areas, school buses were used to ferry vulnerable people to shelters and across the country. Toll booths have been opened to avoid any queues from forming.
Three persons have already died in Jamaica, and 13 others have been injured in hurricane preparations as deteriorating weather conditions affect the island.
Meanwhile, at least three persons are known to have died and hundreds of homes have been flooded in Haiti as Melissa brought torrential rainfall to the island of Hispaniola.
In the Dominican Republic, located on the eastern side of Hispaniola, one person also died.
Local media identified the victim as a 79-yearold man who had been swept away by floodwaters in the capital, Santo Domingo. Heavy rains flooded neighbourhoods in Santo Domingo.
A 13-year-old has also been reported missing after being dragged away by strong currents as he was swimming in the sea.
Several people were rescued after being trapped in their cars by the rising floodwater. (BBC News)
“Freedom of movement. It has to happen,” Trim declared recently as the Senate debated the bill, which seeks to allow citizens of Dominica, St Vincent and the Grenadines, and Belize to live and work in Barbados.
Trim said the legislation provided a “structured, lawful process” that ensured Caribbean nationals entering Barbados would have access to necessary services while also contributing through taxes. She argued that Barbados already had “some of the best legislation in the Region”, making it well-positioned to lead on regional integration.
Drawing on her personal experience, the Guyana-born senator gave an emotional account of what it was like growing up in Barbados as a child
facing the threat of deportation.
She recalled a period when, under a former Democratic Labour Party (DLP) Administration, there was a Bds$75 bounty for individuals who reported Guyanese nationals living illegally on the island.
“I have lived here all my life and, therefore, I am a Barbadian,” she affirmed, adding that the country was now “repairing our reputation as leaders within the Caribbean Community.” (Nation News)
T&T PM: Caricom chooses Venezuela over Trinidad and Tobago, not a reliable partner
Trinidad and Tobago
Prime Minister Kamla
Persad-Bissessar said Caricom was not a reliable partner but had chosen Venezuela over Caricom member state Trinidad and Tobago, in a statement made on the Crime Watch television show to host Ian Alleyne on October 27.
She spoke just hours after Venezuelan Vice President Delcy Rodriguez had said her country would not collaborate on any energy projects with T&T, which Rodriguez had earlier accused of aggression towards her country by way of the visit to the Port of Spain dock of US destroyer USS Gravely, part of a
US anti-narcotics fleet now gathering in the Southern Caribbean, which some commentators allege may be intent on regime change in Caracas.
Persad-Bissessar retorted that T&T had no need of Venezuelan gas, saying the country had other projects in both the energy and non-energy sectors.
Otherwise, PersadBissessar said the House of Representatives would meet on October 31 to vote on the Government's proposal to "extend" the current state of emergency (SoE), that had been called after claims that an amalgam of criminal gangs were plotting to overthrow the Government.
The Government originally called the SoE on July 18 and then on July 28 extended it by a further three months until late October.
Former Foreign Affairs Minister Dr Amery Browne, in a text via WhatsApp to Newsday, remarked, "This Prime Minister has created major problems for TT and is now blaming all and sundry except herself and her ministers."
He said she had isolated the Government from Caricom and had openly rejected the concept of a zone of peace.
"The truth about TT and Caricom is that we are always stronger together."
(Trinidad Newsday)
Lawyers for former Brazilian President Jair Bolsonaro on Monday filed an appeal to reduce his 27-year prison sentence for plotting a coup to remain in power after the 2022 presidential election.
In an 85-page motion filed with the Supreme Court, Bolsonaro's lawyers sought a review of parts of the convic-
tion, including the prison sentence. The motion did not stipulate how much of a reduction in prison time Bolsonaro's lawyers were seeking.
Bolsonaro has repeatedly denied any wrongdoing.
Typically, defendants sentenced by Brazil's Supreme Court need at least two justices to diverge on the ruling to request an appeal that could significantly change the decision. (Excerpt from Reuters)
Last month, four of the five Judges of a Supreme Court panel voted to convict Bolsonaro of five crimes, including taking part in an armed criminal organisation, attempting to violently abolish democracy and organising a coup.

China pressed on Monday for open trade and stronger economic ties at a regional summit in Malaysia dominated by the shadow of steep US tariffs, as Canada's premier expressed readiness to meet US President Donald Trump to defuse trade tensions.
A day after Trump's sixhour blitz of meetings and trade announcements at the Association of Southeast Asian Nations summit in Kuala Lumpur, Chinese Premier Li Qiang called on regional leaders to uphold free trade and oppose protectionism, a phrase China has used to call out Trump's tariffs.
"We must fully safeguard the hard-earned peace and stability in East Asia," Li said at a meeting of ASEAN, Japan, China and South Korea.
He urged countries to "uphold free trade and the multilateral trading system, oppose all forms of protectionism, and continuously advance regional economic integration".
In a flurry of deal-mak-

Leaders attend the 28th ASEAN Plus Three Summit in Kuala Lumpur, Malaysia, Monday, October 27, 2025 (Vincent Thian/Pool via Reuters)
ing on his first stop of a fiveday tour of Asia, Trump on Sunday oversaw the signing of an expanded ceasefire he brokered between Cambodia and Thailand and trade framework agreements with four countries, none of which reduced import tariffs, though they left room for exemptions.
Canada's Prime Minister Mark Carney on Monday said his Government was
working to secure trade deals in the Indo-Pacific and expected to meet Chinese President Xi Jinping on the sidelines of the APEC meeting in South Korea this week.
Carney said he was also open to meeting Trump, who has been incensed over a tariff-related Ontario political ad that has complicated their delicate trade negotiations.
"We stand ready to sit down with the United States, myself, with the President, my colleagues, with their colleagues, when the US is ready to sit down," Carney told a press conference, adding he had not seen specifics on the additional 10 per cent that Trump said he would impose on Canadian goods following the ad. (Excerpt from Reuters)
Cameroon's President
Paul Biya, the world's oldest serving ruler, secured an eighth term in office on Monday, election results showed, triggering clashes between security forces and Opposition supporters who say the vote was rigged.


Oil prices settled marginally lower on Monday as the Organisation of Petroleum Exporting Countries (OPEC) plans to increase oil output once again outweighed hopes of a trade deal framework between the United States and China and renewed US sanctions on Russia.
Brent crude futures were down about 32 cents, or nearly 0.5 per cent, at US$65.62 a barrel, while West Texas Intermediate (WTI) crude futures closed 19 cents or 0.3 per cent lower at US$61.31. Both contracts fell around one per cent in early trade.
Eight OPEC+ nations are leaning towards making another modest increase in oil output for December when they meet on Sunday as Saudi Arabia pushes to reclaim market share, four sources familiar with the talks said.
US President Donald Trump and his Chinese counterpart Xi Jinping are due to meet on Thursday to decide on what could pause tougher US tariffs and China's rare-earth export curbs, easing market jitters around a trade war.
US Treasury Secretary Scott Bessent said on Sunday that US and Chinese officials had hashed out a "substantial framework" for a trade deal that could avoid 100 per cent US tariffs on Chinese goods and achieve a deferral of China's rareearth export controls in trade discussions this week.
"Crude futures are taking a breather from last week's steep rally as President Trump is meeting with Chinese President Xi and staff for trade negotiations on Thursday to hopefully finalise most differences," said Dennis Kissler, Senior Vice President of trading at BOK Financial.
The United States hit Russia's major oil companies with sanctions on Wednesday, which could hurt Russia's oil exports if enforced and be a positive for crude prices, Kissler added.
Police fired tear gas at crowds who wore masks or tried to cover their faces with clothing. In other parts of the city, streets that normally buzzed with motorbikes were deserted.
Biya – aged 92, with a
Backers of Opposition candidate Issa Tchiroma Bakary, armed with sticks and stones, blocked off roads with debris and burning tyres in the central African country's commercial capital Douala.
new mandate that could keep him in power until he is almost 100 – said the people had once again placed their trust in his leadership and expressed sorrow for the violence in a statement posted on social media platform X.
"My first thoughts are with all those who have unnecessarily lost their lives, as well with their families,
as a result of the post-election violence," Biya said.
The Government has rejected Opposition accusations of irregularities.
Official results published on Monday showed Biya winning the October 12 vote by a comfortable margin of 53.66 per cent against 35.19 per cent for Opposition Leader Tchiroma. (Excerpt from Reuters)
Russia has been chasing civilians who live near the front line in Ukraine with drones, hounding them out of their homes and hunting them down, forcing thousands to flee whole areas in what amounts to a crime against humanity, a United Nations inquiry found.
The report by the Independent International Commission of Inquiry on Ukraine described civilians who were chased over long distances by drones with mounted cameras, and sometimes then attacked with fire bombs or explosives while seeking shelter.
"These attacks were committed as part of a coordinated policy to drive out civilians from those ter-
ritories and amount to the crime against humanity of forcible transfer of population," said the 17-page report to be presented to the United Nations General Assembly this week.
Its findings were based on interviews with 226 persons including victims, witnesses, aid workers and local authorities as well as hundreds of verified online videos.
The attacks described in the report occurred in three regions in southern Ukraine, near the front line and across the Dnipro River from Russian forces, over a period of more than a year.
Russia denies intentionally targeting civilians in Ukraine, although its forc -
es have killed thousands of them since mounting a fullscale invasion three and a half years ago. Ukraine has also struck civilian infra -
structure targets in Russia and in Russian-held parts of Ukraine, though on a far smaller scale. (Excerpt from Reuters)
"While the futures market has added in additional trade with China and less crude exports from Russia, traders remain cautious as to how much this will actually affect global supplies," Kissler said.
Demand concerns also weigh on oil
Concerns over lacklustre demand have weighed on the market, with Brent falling to its lowest since May earlier this month, but renewed sanctions on Russia from the US along with stronger-than-expected US demand have helped buoy prices.
"The hope for bulls is that US consumption continues to recover, otherwise it seems the drift lower seen so far today is likely to intensify," said Chris Beauchamp, chief market analyst at IG Bank.
OPEC and its allies have changed course this year by reversing previous production cuts to regain market share, helping in part to keep a lid on oil prices.
Iraq, the OPEC group's biggest overproducer, was in negotiations over the size of its quota within its available capacity of 5.5 million barrels per day, Oil Minister Hayan Abdel-Ghani said at an oil conference on Monday.
The fire at Iraq's Zubair oilfield on Sunday did not impact exports from the country, he added.
Last week, Brent and WTI rose 8.9 per cent and 7.7 per cent, respectively, on US and EU sanctions on Russia.
"There are likely some continued challenges for Russian oil to enter the market, but it depends on how sanctions will be enforced," said Rystad analyst Janiv Shah. (Reuters)
Trump does not rule out seeking 3rd term – but says he will not use VP loophole
US President Donald Trump has not ruled out the possibility of seeking a third term for the White House, saying he would "love to do it".
But Trump rejected the possibility of running for Vice President in 2028 – an idea floated by some supporters as a way for him to circumvent the US Constitution that bars the President from running for
a third term.
Speaking to reporters during his trip to Asia, Trump described the idea as "too cute" and said it "wouldn't be right".
It is unclear what method he would use to run again. Last week, former Trump strategist Steve Bannon said that a "plan" was in place to secure the 79-yearold President another term.
Speaking to reporters
aboard Air Force One on his way to Japan from Malaysia, Trump said that while he would "be allowed" to run again as Vice President, he had no plans to do so.
"I think people wouldn't like that," he said. "It's too cute. It wouldn't be right."
Talking about the possibility of a third term, Trump said: "I haven't really thought about it. But I have the best poll numbers
that I've ever had." Additionally, Trump also suggested Vice President JD Vance and Secretary of State Marco Rubio as potential successors, calling them "unstoppable".
"All I can tell you is that we have a great group of people, which they don't," he added, referring to Democrats. (Excerpt from BBC News)











A change in how you earn or handle money will intrigue you. Find out as much as you can and submit your resume. Be reserved when reacting to emotional situations.



















Build with what you have already instead of overpaying for something you don't need. Put more energy and time into partnerships and your home environment. Distance yourself from divisive people.
Impulsive action will tempt you. Be cautious when dealing with associates or those trying to provoke a reaction or prompt a hasty decision. Refuse to let anyone coax you into buying something you don't need.
Put your energy into work, discipline and doing your utmost to thrive and survive. A unique approach to developing or showcasing your skills will help you advance. Think big, but don't lose sight of the budget.
Avoid debates or making impulsive moves under emotional conditions. Refrain from making a big decision without conducting a thorough investigation. Someone will take advantage of you if you give them the chance.
Chat up someone who can offer something in return. Be careful not to oversell or undersell yourself; truth matters and will determine your future. Display what you can contribute, and you'll find your niche.
Refrain from overdoing it today. The temptation to take on too much or make promises you cannot keep is looming. Channel your energy and pay attention to what's going on around you.
Refuse to let what others do aggravate you. Channel your time and energy into finishing what you start and doing the best job possible. Change what you don't like, and don't look back.
Explore possibilities. If you limit yourself, you'll do yourself an injustice. Consider how you can use your skills and knowledge to do something you enjoy.


Create opportunities, and you will advance. Be aware of your limits and any health restraints. Avoid situations that pose a risk to your physical well-being.



High energy alongside good timing and the urge to make a move will pay off. Fine-tune your skills, invest in yourself and take measures to look and do your best.

Refrain from taking a leap of faith. You have time to consider every angle and redefine what you want to pursue. Trust your knowledge, intelligence and insight, and you'll discover the road that leads to victory.






The Lusignan Golf Club (LGC) came alive on Sunday as 36 golfers battled it out under clear skies for top honours at the Bruster’s Real Ice Cream Golf Tournament 2025.
The course was in splendid shape, with lush fairways, smooth greens, and a gentle breeze that tested every shot, setting the perfect tone for a day of spirited competition.
Emerging triumphant was Kassam Oliver, who carded a gross score of 85 with a 22 handicap, finishing on a net score of 63. His steady play throughout the round secured him first place in a strong
field. Anthony Scares followed closely with 86 gross, 23 handicap, and 63 net, losing narrowly on countback, while Roy Dhori finished third with 83 gross, 18 handicap, and 65 net.
In the special categories, Miguel Yunis unleashed a powerful drive to capture the Longest Drive award, while Mike Mangal displayed pinpoint accuracy to win Nearest to the Pin. The Best Gross title went to Feroze Barkat – 76, who delivered consistent form throughout the day. The tournament, now an annual favourite, once again showcased the strong partnership
between Bruster’s Real Ice Cream and the LGC. The course buzzed with camaraderie and anticipation as players gathered at the 19th hole to discuss their rounds and look ahead to the next big challenge, the Brava Guyana Open, scheduled for November 1 and November 2, 2025.
LGC Secretary Chet Bowling extended gratitude to the sponsors, saying, “A big thank you to Bruster’s. The Bruster’s brand has been a great supporter of the Lusignan Golf Club over the past six years. Led by Director Paton George, the company clearly understands its corporate social responsibility.

Turkey's football federation says it will launch disciplinary proceedings after hundreds of professional match officials were found to have betting accounts.
A five-year investigation found that 371 of 571 match officials have accounts, with 152 of those actively gambling.
While some had only bet once, 42 had bet on more than 1000 football matches – with one official found to have placed 18,227 bets.
Speaking to a media conference in Istanbul, Turkish Football Federation (TFF) President Ibrahim Ethem Haciosmanoglu did not name the officials, but said the list included seven referees and 15 assistant referees from Turkey's top two divisions, as well as 36 "classified" referees and 94 assistants from the level below.
"If we want to bring Turkish football to the place it deserves, we have to clean up whatever dirt there is," Haciosmanoglu said.
He added that the officials would be referred to the TFF's disciplinary board and "face the necessary penalties".
Like players and coaches, match officials are forbidden from
participating in betting activities by TFF Disciplinary Regulations, as well as those of FIFA and UEFA.
Under TFF rules, they could face up to a year-long ban, while Article 27 of the Fifa Code of Ethics states that referees found to have placed bets could face a fine of 100,000 Swiss francs (£94,246) and a ban of up to three years from all football-related activities.
Some of Turkey's top clubs responded, with Besiktas saying the investigation's findings "could mark a new beginning for clean football" while Trabzonspor called the development "an historic opportunity to rebuild justice in Turkish football".
"This is both shocking and deeply saddening for Turkish football," said Sadettin Saran, President of Fenerbahce.
"But the fact that it is coming to light is a hopeful development."
A turning point for Turkish football – analysis
This day could mark a defining moment for Turkish football – a sport long overshadowed by controversies surrounding referees, even incidents of violence against them.
This is not the first time refereeing has been at the centre of debate in Turkey. For years, officials have faced fierce criticism for their performances. But this time, the issue runs far deeper, and involves far more than a few individuals.
Among the numbers released by the TFF are seven elite referees qualified to officiate in the Super Lig, the country's top division.
Adding to the gravity of the situation, Prosecutors confirmed that an official investigation into the allegations began back in April.
Many questions remain unanswered.
Who are these referees? How many matches have they officiated in recent years? Were any of those matches linked to their betting activity? Did they know about each other's involvement – or even place bets on each other's games?
For now, the public has few answers. The scale of the allegations has shaken confidence in the game to its core.
Several football commentators in Turkey have called for league matches to be suspended until the investigation is complete, arguing that innocent referees are now unfairly caught under a cloud of suspicion.
Others say this moment should accelerate calls for foreign referees to be brought in – a proposal that has surfaced repeatedly in recent years.
Yet, the football calendar moves on. Two matches were scheduled for Monday night, and the league is set to continue this week.
What is certain is that Turkish refereeing will never be viewed the same way again.
And the truth is, the entire football world in Turkey will now be deeply sceptical about any future matches. (BBC Sport)

What’s also important is the number of players the tournament attracted – 36. This was a very high turnout and is reflective of the sponsor, but also a build-up to the
players shared their anticipation for the major tournament.”
season and signals an exciting showdown ahead for Guyana’s premier golf event.
Guyanese left-arm spinner Devon Lord has officially joined Precision Sports, marking a significant step forward in his cricketing career.
The 30-year-old, who represents the Georgetown Cricket Club (GCC), has appointed Nidia Andrews as his official brand and sponsorship agent.
Lord’s signing comes on the heels of a series of strong performances in the TKR T20 Festival in Trinidad, where he captured 10 wickets in four matches, including a five-wicket haul that drew praise from regional cricket followers. These performances are part of a larger trend of success for Lord, who has been one of the most consistent bowlers in domestic competitions since last year’s Inter-County Championship. His steady form earned him a standby spot for the Guyana Harpy Eagles in the 2024 Regional Super50 Cup, putting him on the radar for national selection. However, despite maintaining his form and fitness, Lord was surprisingly omitted from the 2025 Inter-County squads, a decision that left many in the local cricket community bewildered. Several observers questioned the move, noting that few players have matched his level of consistency and discipline over the past two seasons.
After recently speaking candidly in a Precision Sports interview about his disappointment in not being selected for this year’s Inter-

County Tournament, which is the key gateway to the Guyana Harpy Eagles Regional Super50 team, Lord decided it was time to broaden his horizons and expand his visibility as an athlete.
On Thursday, Lord made it official by signing with Andrews as his brand and sponsorship agent under the Precision Sports banner. Since the signing, Andrews has already secured meetings with three reputable companies, all of which have expressed strong interest in partnering with Lord as a brand ambassador.
Additionally, companies outside of Guyana, including international sporting brands, have shown interest in potential sponsorship opportunities with Lord.
“We’re thrilled to represent Devon,” said Andrews. “He’s a talented athlete with tremendous potential, and our goal is to ensure that he receives the visibility and support he deserves—both locally and internationally.”
This milestone underscores Precision Sports’ growing reputation as more than just an organiser of successful women’s cricket tournaments and media features. The organisation continues to prove its ability to represent athletes professionally, connect them with corporate partnerships, and help them grow their personal brands. It appears that 2026 will be a transformative year for Lord on and off the field as Precision Sports keeps growing its power in the local sports sector.

Following their official receipt of the Elite League Championship Trophy on Saturday last, Slingerz FC Head Coach Jamaal Shabazz has expressed pride in his team’s exploits this season.
The Slingerz gaffer, in the midst of his team’s celebrations, described the final game against the Guyana Defence Force (GDF) FC, as
one for the fans.
“Tonight’s game was all about the fans. GDF were on fire: it was a very difficult game for us to try to contain them. They created a good couple chances and more importantly, both teams created a lot of excitement, especially for the fans who supported the League throughout the season. It was

a good, good game for them,” Shabazz told media operatives following the tournament’s conclusion.
Quizzed on how difficult it might have been to motivate players after securing the League title early, the Slingerz Head Coach shared his appreciation for the pride his players displayed in wanting to maintain their unbeaten run.
He expressed, “It’s always difficult when we have accomplished something like winning the League and getting the guys’ heads in the right place. They felt that they needed to stay unbeaten and credit to them, they came out and worked very hard for it.”
“Up to two days before the game, we had full turnout in the training and while at first, you gonna constantly keep talking to them, tonight they showed that look,

Aalthough they knew we won the League, they showed that pride and that guts and that determination to try to finish unbeaten and we achieved that objective.”
On a personal note, Shabazz labelled his work with the team this season as a huge investment that paid off.
The former Golden Jaguars Head Coach explained, “Being a club coach, it’s about 23 years since I’ve been a club coach. I look forward to a good rest. I felt that the team delivered, it was a huge investment made by the Javed Ali family in bringing me into Slingerz.
“It was a really, really good experience, you know, working day to day, very different from working in the national team when you only have the players four days before. So, all in all, I still have that fire in my stomach and I look forward to the future.” Aside from the championship trophy, Slingerz FC also carted off the best goalkeeper and Most Valuable Player (MVP) awards that went to Akel Clarke and Darron Niles respectively. Striker Kemar Beckford also finished second in the highest goal-scorer race with 30 goals in 18 games.
classy century from Captain Tevin Imlach and a composed run chase from Demerara Cricket Club (DCC) sealed a seven-wicket victory over Georgetown Cricket Club (GCC) in the GISE-Star RentalsTrophy Stall First-Division TwoDay final, played at the DCC Ground over the weekend.
Winning the toss, DCC elected to bowl first, and veteran all-rounder Christopher Barnwell struck early, removing Martin Pestono-Belle for just four. DCC’s spinners were soon in the action, tightening the screws as GCC found themselves in a spot of bother during the middle session.
However, Ronaldo AliMohamed and Mavendra Dindyal turned the tide with a brilliant 147-run partnership that revived the visitors’ innings. The stand was eventually broken by Jonathan Van Lange, who dismissed AliMohamed for a fluent 87 off 73 balls, including eight fours and five sixes.
After that dismissal, GCC’s lower order crumbled, offering little resistance. Dindyal stood tall amid the collapse, compiling a classy 106 from 146 deliveries, decorated with 11 fours and 2 sixes, before being the final wicket to fall. GCC were eventually bowled out for 262. For DCC, Ezekiel Wilson was the pick of the bowlers with outstanding figures of 5 for 39, while Van Lange provided strong support, claiming 3 for 38.
In reply, DCC endured a shaky start, slipping to 34 for 2 within five overs. The aggressive Raymond Perez and the composed Imlach then steadied the innings with a vital 85-run partnership.

Tevin Imlach was brilliant in both innings
Perez entertained the home crowd with an attacking 71 from 46 balls, striking seven fours and five sixes, before Kevin Sinclair broke the partnership. Dindyal, continuing his all-round impact, later removed Sachin Singh for 18 off 38 balls.
At stumps on Day 1, Imlach remained unbeaten on 61, alongside Van Lange, who was not out on 26. DCC closed the day on 198 for 4, trailing by 64 runs with six wickets still in hand.
Resuming on Day 2, Imlach continued his fine form, powering his way to a brilliant 107, guiding DCC into a commanding position. His 105-run partnership with Van Lange, who scored a fluent 65 from 91 balls (seven fours, one six), set the platform for a strong total.
A lively cameo from Barnwell (34) pushed DCC to
337 all out, giving them a 75run first-innings lead.
In their second innings, GCC got off to a promising start as Sinclair (35) and Navindra Persaud (34) laid a solid foundation. Yeudistir Persaud, batting at number four, produced an impressive 86 from 77 balls, but DCC’s spinners fought back brilliantly, dismantling the middle and lower order to bowl GCC out for 210.
Set 135 for victory, DCC faced early trouble at 23 for 3 after six overs. However, Perez and Imlach steadied nerves with a composed and unbeaten partnership. Perez finished 49 not out, while Imlach capped a superb allround match with 61 off 49 balls, guiding DCC to 137 for 3 — and a seven-wicket win to be crowned Georgetown’s First-Division Two-Day champions.

The Berbice Football Association (BFA) Senior Men’s League, sponsored by the Ministry of Culture, Youth and Sport, delivered a goalfilled Sunday night as Paradise Invaders FC and Trafalgar Titans FC both claimed impressive victories in front of an energetic crowd.
Paradise went on a goalscoring spree over the weekend, scoring 13 goals in two matches.
In the double header at the Number Five Ground, West Coast Berbice, on Sunday evening, Paradise Invaders FC produced a sensational attacking display, dismantling Ithaca FC 7-1 to climb to the top of the points table.
Paradise’s goal rush began early through Keysean Mingo, who opened the scoring and set the tone for an explosive performance. From there, Deon Moriah emerged as the night’s standout performer, netting an incredible hat-trick that tore through Ithaca’s defence and
inspired Paradise’s dominance.
Curtland Richmond added a classy brace, displaying excellent positioning and precision finishing, while Devon Fraser and Keywan Mingo each chipped in with well-taken goals that kept the pressure relentlessly on Ithaca’s backline.
The combination play of Moriah, Richmond, and Fraser was electric, their movement and link-up proved unstoppable as Paradise overwhelmed an Ithaca side that struggled to contain the pace and intensity of the attack.
In the first game of the evening, Trafalgar Titans earned a hard-fought 3-1 win over Fyrish Black Sharks FC, in a contest that came alive early on.
Black Sharks struck first in the 10th minute through Tyrease Gibson, who capitalised on a defensive lapse to give his side a brief lead. However, Trafalgar responded immediately, just a minute later, when Jeremy Thornhill found the equaliser
in the 11th minute, igniting the Titans’ comeback.
The momentum shifted firmly in Trafalgar’s favour before halftime as Enriquez Lewis coolly slotted home one in the 42nd minute to make it 2-1. The Titans sealed the victory midway through the second half when Deandary McKenzie added a third in the 67th minute, showing great composure and confirming a much-needed win for Trafalgar. Thornhill’s early equaliser proved crucial in steadying his team, while Lewis’s and McKenzie’s finishes highlighted the attacking balance that has started to define the Titans’ play this season.
Meanwhile, on Friday at the same venue, Cougars FC went down to Ithaca FC 1-3 while Paradise Invaders got the better of Trafalgar 6-1, in a one-sided affair.
Paradise are currently heading the league on 10 points, followed by Ithaca on 9. (G-4)

WRovman Powell was superb at the death
est Indies Captain Shai Hope led a batting turnaround that helped his side win by 16 runs against Bangladesh in the first T20 International (T20I) in Chattogram.
Hope and Rovman Powell, playing his 100th T20I, put together a late burst of sixes to help the visitors to 165 for 3. In reply, Bangladesh crashed to 42 for 4 in the power play, and were bowled out for 149.
Jason Holder and
Jayden Seales took three wickets each, while Akeal Hosein picked up two in the power play.
It was, however, Hope and Powell's unbroken 83run stand for the fourth wicket that set up victory. Hope scored an unbeaten 46 off 28 balls with a four and four sixes. Powell had similar numbers, facing 28 balls, hitting four sixes and a four, and ending up unbeaten on 44.
Nasum keeps WI quiet Bangladesh began well
with the ball. They rallied around Nasum Ahmed's four overs. He went wicketless, but the left-arm spinner kept West Indies quiet, conceding just 15 runs in his quota. Openers Brandon King and Alick Athanaze only hit a six each though
Hope, Powell roar in the end Hope then went after Rishad with two sixes, but with three over remaining, the visitors looked well short of a decent total. Hope cracked a Taskin half-volley for his fourth six to start

they stuck around for 8.2 overs. Rishad Hossain bowled Athanaze for 34, when the batter missed a reverse sweep. Taskin Ahmed then removed King, caught at deep square leg for 33.
the 18th over. Powell, meanwhile, finally middled one with seven balls remaining in the innings.
was going at a shot a ball, but he lasted just five balls, with Romario Shepherd taking a stunning catch running back from mid-on. Litton Das then played a soft shot as Hosein got the ball to stop on the Bangladesh Captain. Caught in two minds, Litton popped back a return catch, with Hosein taking it blind behind the non-striker standing next to him.
Hosein then had Saif Hassan caught at short fine leg in the next over, attempting a sweep. When Holder removed Shamim Hossain in the fifth over – clipping off his off-bail – West Indies had made significant progress, with Bangladesh's last pair of specialist batters at
bowled Nurul Hasan off the inside edge in the ninth over. Towhid Hridoy joined the procession when he fell to Seales in the 12th over. He struck just two fours in his 28 off 25 balls.
Tanzim then struck a six and three fours in his 33 off 27 balls, to keep Bangladesh's hopes alive. He added 40 runs for the seventh wicket with Nasum, before Holder had him caught at deep point in the 16th over. Nasum kept the fire burning with another boundary, but Seales made him his third wicket in the following over.
Holder then snuffed out the threat of Rishad, who miscued one to long-off. The
& b Hosein 5
Hasan Sakib c Chase b Holder 33 Nasum Ahmed c Holder b Seales 20 Rishad Hossain c Powell b Holder 6 Taskin Ahmed hit wicket b Shepherd 10 Mustafizur Rahman not out 11
Extras (b 2, w 5) 7
Total 19.4 Ov (RR: 7.57, 111 Mins) 149 Fall of wickets: 1-16 (Tanzid Hasan, 1.2 ov), 2-29 (Litton Das, 2.5 ov), 3-38 (Saif Hassan, 4.2 ov), 4-41 (Shamim Hossain, 5.3 ov), 5-57 (Nurul Hasan, 8.3 ov), 6-77 (Towhid Hridoy, 11.6 ov), 7-117 (Tanzim Hasan Sakib, 15.5 ov), 8-123 (Nasum Ahmed, 16.4 ov), 9-129 (Rishad Hossain, 17.3 ov), 10-149 (Taskin Ahmed, 19.4 ov)
Bowling O - M - R - W Akeal Hosein 4 - 0 - 22 - 2 Jayden Seales 4 - 0 - 32 - 3 Khary Pierre 4 - 0 - 33 - 1 Jason Holder 4 - 0 - 31 - 3
Towhid Hridoy c Hosein b Seales 28 Shamim Hossain b Holder 1 Nurul Hasan b Pierre 5
Romario Shepherd 3.4 - 0 - 29 - 1
Taskin followed up with the wicket of Sherfane Rutherford, whose Bangladesh ordeal continued. This time, he fell first ball, caught behind. Although Hope struck a couple of sixes at this stage, West Indies couldn't quite push the scoring rate. Nasum finished off his spell with another stingy over, the 15th.
He slog-swept Mustafizur Rahman for a 102-metre six, before creaming Tanzim Hasan for three consecutive sixes in the last over. He hammered Tanzim's fulltoss, before going straight for the next two. West Indies picked up 51 runs in the last three overs, changing the complexion of the contest.
Bangladesh crash in the power play
Bangladesh came out all guns blazing in their pursuit of 166 runs. Tanzid Hasan

the crease by the end of the power play.
Tanzim, Nasum make late effort
The hosts continued to slide when Khary Pierre

West Indies take a 1-0 series lead
innings ended when Taskin stepped on the stumps in the final over, having sent Holder sailing out of the ground in the 18th. (ESPNcricinfo)


By Brandon Corlette
Night or day, Dataman is all you see. The 2025 Guyana Cup winner became the 2025 President's Cup winner with a spectacular win on a sunny day at Port Mourant Turf Club.
The Master Z top horse silenced his critics in the feature race, which ran at
1800 metres in the big yard. Jockey Jose DaSilva delivered a masterful run, stopping the clock in one minute, 52 seconds.
The Port Mourant Turf Club erupted in cheers as Dataman pulled off a come-from-behind win. Jockey DaSilva moved into top gear at the right time, and that was all she wrote for Dataman.
The Master Z racing stable Yankee-bred horse walked away with $3 million and the title of double champion in Guyana. With this win, Dataman is primed to win Horse of the Year for 2025.
Anthem King ran second in the feature race, while Slingerz's Ritorna Vincentori finished third.
Spankhurst ended up in

The National Sports Commission (NSC) will on November 8 celebrate the achievements of Guyana’s finest athletes, coaches, and officials at its Annual National Sports Awards, where the country’s sporting excellence in 2024 will take centre stage.
Following the review of submissions from national federations, the NSC’s committee, tasked with reviewing, deliberating, and selecting winners across all categories, recently concluded its assessment.
Director of Sport, Steve Ninvalle, commended the panel for ensuring a transparent and merit-based selection process that recognizes the very best of Guyana’s sporting talent.
Leading the spotlight this year is national footballer Omari Glasgow, Guyana’s alltime leading goal scorer, who headlines the nominees for Sportsman of the Year.
The 21-year-old, who has now tallied 21 goals in 33 international appearances, is joined on the shortlist by Bodybuilder Nicholas Albert, who captured his International Fitness and Bodybuilding Federation (IFBB) Pro Card in 2024; Paris 2024 Olympian Emanuel Archibald and national cricketers Ashmead Nedd, Tevin Imlach and Kevlon Anderson, who stood out in the West Indies Championships.
The race for Junior Sportsman of the Year features four promising stars, track
athletes Kaidon Persaud and Malachi Austin, swimmer Raekwon Noel, and chess prodigy Sachin Pitamber, each having impressed on the regional and international stages.
In the women’s category, the Sportswoman of the Year nominees include two of Guyana’s top squash players, Nicolette Fernandes and Ashley Khalil, who both excelled on the international stage during the review period, alongside Taekwondo athlete Ceili Peterson and bodybuilding sensation Rosanna Fung, who continues to elevate Guyana’s presence in global fitness arenas.
Meanwhile, Junior Sportswoman of the Year nominee Athaleyha Hinckson stands out after claiming Guyana’s first-ever gold medal in the CARIFTA Games U17 women’s 100 metres.
She faces competition from fellow track standout Tianna Springer, the CARIFTA 400m champion, among other rising stars.
In the Coach of the Year category, Julian Edmonds, the coach for both Austin and Hinckson at the Running Brave Track Club, will go up against West Indies Championshipswinning Guyana Harpy Eagles (GHE) gaffer Ryan Hercules and Joseph “Bill” Wilson of the Guyana Defence Force Football Club, each having played instrumental roles in their athletes’ success.

fourth.
The heated day started with the L Class non-earners last start, open to Guyana-bred horses. Country Rock started in fine fashion with a win while Heatland ran in second. GT Boss was third while Kiss placed fourth.
The J Class and Lower saw Lion Heart claiming victory while Hayley finished second. Three D Movie ran third and Salar, fourth.
Veteran jockey Drepaul put on a masterclass in the G Class and Lower to help Emotional Damage claim victory. Amicable Kate ran second, followed by Red Ruby and American Traveller.
Head of the Class was certainly the leader in the twoyear-old Guyana and West Indian bred open. Nice Time ran second while It's My Time and Monica Time rounded out the top four finishers.
The F Class and threeyear-old imported open, including first-time starters, Brazilian-bred horses of E Class and Lower, and E Class nonwinners of 2025 saw Order and Progress storming to a win.
Prince Joaquim ran second while Barba and Night Beacon were the other finishers in that order.
Ruff Time took the top honours in the three-yearold Guyana Derby. Jet Mode finished just short to claim second while Spank Me ran third. I Will Have Another finished fourth.
The sprint classic was a race of high octane, and it was Regal Man who pulled off the victory, leaving in the dust behind him John Bull, a former President's Cup winner. Oy Vey was good, but had to settle for third while Companheiro Leal finished fourth.
The Jumbo Jet Racing
Stables then won their second race of the day, and it was a sweet win. Both Jumbo Jet horses took the top two spots in the two-year-old imported juvenile stakes. She's So in Charge finished the race in less than one minute while Moonlight Dancer ran second. Miracle Queen finished third. In the 10th and final race of the day, Mulan ran first in the H Class non-winners of 2025 open to three-year-old West Indian bred classified H Class. Here Comes Heidi ran second followed by She WBO On Time and Sea Bird in that order. J’s Racing Stables won three races on the day, while local jockey Ronaldo Appadu claimed two wins. The President's Cup was well organized, and it was deemed a successful event that attracted thousands of horse lovers from various countries.
The Association of the Year will be contested by four of Guyana’s most proactive governing bodies – the Guyana Basketball Federation, Guyana Chess Association, Guyana Bodybuilding and Fitness Federation, and the Guyana Golf Association.
For the Sports Official of the Year, the male nominees include GBF President Michael Singh; FIFA referee Shavin Greene; Vidish Sookram (bodybuilding) and Kerwyn Johnson, while Natasha George, Denisha Isaacs, and Aileen Bowman-Joseph lead the female category.
The Media Awards will see this publication’s Jemima Holmes; Rawle Toney (Kaieteur News); Michaelangelo Jacobus (Stabroek News); Akeem Greene (Newsroom) and Eric Collymore (NCN) recognised for their outstanding coverage and promotion of sports throughout 2024.
Meanwhile, NAMILCO, ANSA McAL, ENet, Bluewater Shipping, MVP, ExxonMobil, Trophy Stall, and Sublime Security have all been shortlisted for Corporate Sponsor of the Year, acknowledging their significant investment in local sport.
As anticipation builds for November 8, Ninvalle emphasised that the ceremony will not only celebrate athletic success, but also recognise the dedication, discipline, and unity that continue to drive Guyana’s sporting development forward.

Defending champions Chase’s Academic Foundation were back to their high-scoring ways; and they joined in the winners’ circle on Sunday by Three Miles Secondary, Charlestown Secondary and West Ruimveldt Secondary as round two of the Republic Bank Secondary School League 2025 was staged.
Three Miles Secondary got the day’s proceedings started with a 3-1 victory over Dolphin Secondary, who are yet to register any points in the League.
Dolphin Secondary claimed the lead first through Tyler Abrams in the 25th minute, but Three Miles responded with goals off the boots of Rondell Washington (40th), Durrell Washington (43rd) and Chris Anderson (70th) for the win.
Then, Charlestown Secondary edged Abram Zuil
Secondary 2-1, the second such close loss for the Region Two outfit in this year’s tournament.
Dilshawn Alleyne put Charlestown Secondary ahead in the 26th minute but Abram Zuil’s Jaden Evans found the back of the net to equalise in the 49th minute. However, any thought of redemption was wiped from the thoughts of Abram Zuil when Adion Marks found the game-winner for Charlestown in the 56th minute.
Rebounding from a loss in the opening round, West Ruimveldt Secondary whipped President’s College 6-0 in the ensuing clash.
The league’s defending champions, Chase’s Academic Foundation brought the curtains down on Round 2 with a massive 10-2 drubbing of South Ruimveldt Secondary – a stark contrast to their 2-1 win against Abram Zuil in the first round.
Isaiah Ifill scored in the very first minute and went on to net two more in the 2nd and 28th minutes while braces came off the boots of Bryan Wharton (38th, 77th) and Shaquan David (69th, 70th). Tyrell Walcott (17th), Mark Glasgow (33rd) and Nyron Barrow (68th) netted one apiece as Chase’s Academic Foundation built on their unbeaten streak. Round 3 of the Republic Bank league will be staged on Sunday, November 2 at the Ministry of Education (MoE) Ground, Carifesta Avenue.
After Jeremiah Griffith opened the scoring in the 5th minute, Lydon Gray led the way with a treble in the 11th, 50th and 67th minutes. Joel Griffith (30th) and Donovan Welcome (60th) also added their names to the scoresheet for West Ruimveldt.




