
City of Woodstock – Transportation Plan
![]()

City of Woodstock – Transportation Plan
181 Grid Streets Program
185 I-575 Ridgewalk Parkway Interchange
191 I-575 Towne Lake Parkway Interchange
195 Hub Transformation Project (TLP/Mill/Roundabout)
204 Arnold Mill Road – Streetscapes V Project
210 Towne Lake Parkway Widening
214 Lyndee Lane Extension I
218 Paden Street Extension I
222 SR 92 at Neese Road Intersection Improvement
229 Neese Road Southern Segment
235 Neese Road Northern Segment
239 Arnold Mill Road at Neese Road Roundabout
242 SR 92 at Trickum Road Intersection
248 SR 92 at Main Street Intersection
252 SR 92 at Springfield Dr Intersection
255 Main Street at Rope Mill Road Roundabout
258 Brownlee Road Grid Street Connection
261 Trickum Road at Nocatee Trail Roundabout
265 Haney Road Extension II
267 Dupree Road at Main Street Intersection
271 Ridgewalk Parkway Lane Extension
275 Streetscapes IV Pedestrian Plan (Main Street South)
280 Elm Street Pedestrian Plan
287 Mill Street to Wheeler Street Extension
291 Chambers Street Extension I (Wheeler to AMR)
296 Chambers Street Extension II (Fowler to Dupree)
299 Chambers Street Conversion to 2-Way (Hubbard to Fowler)
302 E Main Street Conversion to Pedestrian (Hubbard to Fowler)
305 Market Street Extension I
309 Hubbard Road Extension I
312 Streetscapes VI (Towne Lake Pkwy - Main to Mill)
316 E Main Street at Arnold Mill Road Intersection
320 Hames Road Improvements
324 SR 92 Pedestrian Improvements
329 Arnold Mill Road at Dobbs Road Roundabout
332 SR 92 @ Parkway 575 Intersection
335 Lincoln Street Extension I
338 Main Street at Bell Parkway Intersection
340 Ragsdale Road Pedestrian Crossing
343 Main Street at Barnesdale Road Intersection
346 AMR Trail Extension (Neese to FS14)
349 Arnold Mill Road (Neese to Rubes Creek)
352 Design Table

City of Woodstock – Transportation Plan

The Woodstock Comprehensive Transportation Plan is designed to plan and forecast major road projects, corridor enhancements, and resurfacing projects, as well as sidewalks, crosswalks, parking, and other improvements, over a revolving cycle updated annually. The actual work that is accomplished in future years is always subject to City Council approval, and to the availability of resources in any given year or multi-year cycle. The activities planned herein are in various phases of development, some of which might be speculative for future consideration and approval. Such speculative plans can provide alternatives for both the planning process and for the approval process. This Transportation Plan allows for coordinated long range planning by providing a comprehensive list of current projects and probable plans, based on stated goals and circumstances, while maintaining the flexibility to accommodate the uncertainty of the future.
The Transportation Plan is first based on goals and ideas for civic improvement. It is intended that the enhancements proceed in such a manner as to maximize the larger intentions and plans of the overall City. The Plan further serves as a list of possible improvements that are available for consideration on a multi-year period to further aid in
City of Woodstock – Transportation Plan
the consistency and efficacy of Council decision-making processes over long periods of time.
Major transportation initiatives are pursued with continual involvement by the City Council, civic leaders, and outside consultants, in addition to the administrative leadership team of the City. The administrative leadership team aids in this process by providing coordination in the decision-making process and by overseeing the fulfillment of the projects according to what has been approved and funded by the City Council.
The goal of the City is to continually improve the vehicular and pedestrian traffic flow, as well as public parking, in a manner that facilitates convenience and access for the citizens and businesses of Woodstock. However, every individual has different concepts as to what is best, and many of those individual thoughts conflict with one another. It is obvious that the goal of civic improvement must include realistic trade-offs of conditions and possibilities.
The City of Woodstock has experienced a renaissance that includes incredible growth, accompanied by tremendous increases in vehicular and pedestrian traffic, as well as in special events. There are also severe logistical limitations for the possible expansion of streets and sidewalks to accommodate the increase in traffic. In addition to the geographical and property-rights limitations, there are other advisable limits of infrastructure expansion. Long-range planners point to many communities that begin a renaissance, but then react with huge road-widening projects, as well as the destruction of much natural terrain to install traditional suburban parking lots. This reaction has often been shown to stall the initial success prematurely.
The goal of our plan is to raise the issue of trade-offs within the plan itself. The trade-offs are a very important component of the decision-making process and should not be left unsaid. These will be raised along with the suggestions concerning which roads, sidewalks, and parking facilities to build, expand, or repair.
City of Woodstock – Transportation Plan

Vehicular, pedestrian, and parking volumes in Woodstock have skyrocketed since the end of the Great Recession. It is important to characterize this demand with more specificity. Every roadway and section of the city is different. Broad generalization of these matters merely adds to the confusion. Therefore, we will address every corridor in the City separately, as well as discuss the relationships with overall patterns and with the residential neighborhoods supported by those corridors.
The traffic volume growth on I-575 and Highway 92 are only marginally associated with the popularity of Woodstock. Those are regional corridors that are controlled by the State of Georgia, and they were designed to be regional thoroughfares. They are absorbing the growth of the entire region, far beyond the City of Woodstock. That growth is a component of sprawl that has been occurring for nearly 100 years across the nation.
Most of us are uncomfortable with sprawl. Yet growth and sprawl are a natural outcome of popular and convenient metropolitan areas. The Atlanta metro area essentially extends in a circular outward pattern for nearly 100 miles, and it continues to expand. Private property development rights inevitably fuel the onslaught of sprawl. Communities within that sphere of influence, such as Woodstock, are inundated with the traffic associated with that sprawl.
The State of Georgia utilizes I-575 and Highway 92 to facilitate most of the regional traffic, but City streets continually absorb a portion of the sprawl traffic either as regular cutthrough patterns or as emergency detours. The amount of traffic associated with City citizens and businesses represents a miniscule percentage of traffic as compared to the overall regional traffic. This dichotomy will be referenced throughout this plan.
The business districts on and along Highway 92 and those close to I-575 (including west Towne Lake Parkway and Ridgewalk Parkway), are considered within this Transportation Plan. The residential neighborhoods throughout the City are considered within this plan as they intersect the local corridors outlined herein. Most of the corridors, business districts, and residential neighborhoods are directly or closely connected to I-575 or Highway 92
The popularity of Woodstock has primarily impacted on the downtown district, centered around what can be described as the City Center Main intersection. This includes Main Street and Arnold Mill Road (AMR) / Towne Lake Parkway (TLP). This intersection will hereafter be referenced as City Center Main and the extended cross district of Main Street (Serenade Lane to Ridgewalk Parkway) and AMR/TLP (Woodstock Parkway to Dobbs Road) will be referenced as City Center District. The congestion associated with this district is an important dilemma facing the city, but it is also a very pleasant dilemma.
These downtown congestion issues are created by the intense popularity of the City of Woodstock. Our City is busy virtually every day of the year. Traffic backs up, automobiles circle the streets in search of a parking spot, and pedestrians are continually walking to and from, in and out of vehicular traffic, ultimately enjoying this fun-filled juggernaut called Woodstock. It would not take long to name many other cities in North Georgia or throughout the nation that are desperately seeking such popularity.
It should also be noted that many of the issues outside the City Center District are related in some way to the flow issues centered on City Center Main. Most flow issues on the corridors of Rope Mill Road, Dobbs Road, Dupree Road – as well as outer sections of Main Street, Towne Lake Parkway, and Arnold Mill Road – are partially the result of traffic attempting to avoid City Center Main and nearby congestion. This extends all the way to the corridors of Neese Road and Trickum Road These issues will be discussed throughout the plan.
Eastern Side Conditions - A special note here is that the Trickum Road corridor – although partially impacted by issues at City Center Main – is more impacted by regional traffic and the lack of north/south alternatives between City Center Main and Highway 140 to the east. The Trickum Road corridor (including Ragsdale Road and Barnes Road connectors) represents the only realistic option between Main Street and Highway 140 for residents of unincorporated Cherokee County and the City of Holly Springs in southeastern Cherokee County to traverse north/south to Highway 92 and beyond. This limitation is caused by Trickum Road having the only north/south bridge across the Little River in this stretch, thereby creating an hourglass effect with the pinch point occurring at the bridge and the large elementary school.
Although I-575 and Ga 400 generally serve the north metro-Atlanta region as north/south superhighways between I-75 and I-85, Highway 140 serves as a major north/south corridor in between, with an important diagonal aspect that connects Hickory Flat and Canton to Roswell, Sandy Springs, and I-285 from the east. The congestion associated with Highway 140 impacts the local Trickum Road corridor dramatically because Trickum Road serves as an alternative for northwest/southeast traffic. This has created substantial expansion of a commuter pattern that can be called a “corridor,” but it is a series of links with multiple alternatives. For the Woodstock area, the southeast/northwest flow of this series starts in the Trickum Road Corridor area near SR92/Trickum Road (including Ragsdale Road), then travels north through the hourglass of the Little River bridge, then north to AMR, west to Mill Creek Road, north to East Cherokee Drive (ECD), west to Main Street, and north on Main Street to Holly Springs, Canton, and the middle and northern parts of Cherokee County, also experiencing record growth.
Additionally, there is a similar southwest/northeast corridor version that causes congestion in the Eastern Side Conditions. This also traverses through the hourglass at the Little River Bridge, then uses Barnes Road, North Arnold Mill Road, Tripp Road, and East Cherokee Drive.
All these various connections are primarily serving regional flows and are only marginally impacted by any new neighborhood growth along the corridor. The “growth” that is causing the congestion in the Trickum Road area, is regional growth that extends all the way between I-285 to the south and Pickens County to the north. Regardless, the congestion within the Eastern Side of Woodstock is impactful and is considered within this Transportation Plan, although the alternatives available to the City are limited without cooperation from nearby counties and the state. Cherokee County has already improved some of these conditions with the dramatic improvement of the Main/ECD/Mill
City of Woodstock – Transportation Plan
Creek intersection(s), and the addition of the traffic signal at Tripp/ECD. In particular, the improvement of the Mill Creek Road portion of the corridor has lessened the demand for a bypass on the southwestern side of the Little River connecting Neese Road to north Main Street.
Western Side Conditions – A special note here about the Bells Ferry corridor (wholly outside the City limits) – although also complex and impactful within the City limits – it is totally dominated by proximity to I-575 and the narrowness between I-575 and Lake Allatoona. This means that the aspects discussed within this Transportation Plan concerning the western-side conditions will primarily concern the east/west aspects of Towne Lake Parkway, rather than the north/south components on the western side of Woodstock. The I-575 superhighway runs through the western portions of Woodstock, and dominates all nearby traffic patterns. Therefore, for the western portions of the City, the Transportation Plan concentrates on the I-575 interchanges, and the east/west patterns that cross I-575.
City of Woodstock – Transportation Plan
The primary transportation limitations are twofold. First is the metamorphosis of Woodstock from a traditional suburban or exurban bedroom community to a premier example of grassroots, new-urbanism, and populism. Second is that our City – like so many other formerly rural areas – is centered on a railroad line. Those two factors combine to form a substantial limitation for vehicular, pedestrian, and parking flows. However, they simultaneously combine to give Woodstock incredible charm and genuineness that is distinct from many other cities attempting to artificially manufacture the ambiance of new-urbanism and populism.
There is no doubt that the original Hedgewood Mixed-Use Development in downtown Woodstock jump-started the new urban environment, but most of the subsequent downtown growth has been a hodgepodge of eclectic development around the railroad and around odd corners in such a way as to create an organic ambiance that is genuine and extremely popular. Genuineness is likely to manifest itself in staying power. This type of organic development – although not recession-proof – is likely to have more antifragility than other communities.
These advantages and these limitations are intricately intertwined. The urge to solve every traffic and parking issue with traditional suburban solutions is a substantial dilemma of this Plan. The City Center Main could be substantially widened, large surface parking lots could be developed from the few remaining undeveloped downtown areas, and the City Center District could become a more commuter-friendly environment for noncitizens cutting through Woodstock on their way to somewhere else. Such solutions may create unintended consequences that should be carefully considered along the way. The intent of this Plan is to fully discuss and describe the various limitations and solutions to facilitate the decision-making process of the City Council, City Administration, civic leaders, and the public.
The primary dilemma of the plan is how to facilitate Destination transportation, without changing the character of Woodstock and without the old cut-through commuter patterns (Main north/south and TLP/AMR east/west) reemerging with dramatic cutthrough volume increases on the two principal City corridors. The primary commuter patterns should be utilizing the State corridors of I-575 and Highway 92. These State corridors were designed and constructed for the purpose of serving regional cut-through traffic. They were designed and constructed to handle traffic volume many orders of magnitude greater than our City corridors. No amount of intersection improvements or
City of Woodstock – Transportation Plan
minor widening will facilitate the City corridors to handle even a small fraction of the cutthrough commuters.
Therefore, the primary strategy discussed throughout this plan is how to utilize the innovative techniques of Smart Cities, Grid Streets, Roundabouts, Signal Coordination, and similar projects to enhance Destination traffic flow without deteriorating the pedestrian-centric environment that has created the intense popularity of Woodstock.
City of Woodstock – Transportation Plan
City of Woodstock – Transportation Plan

The vehicular flow of Woodstock is characterized by a combination of through and destination traffic. The distinction between the two is crucial:
Through-Traffic is essentially commuter traffic from outside the jurisdiction to a destination also outside the jurisdiction. This definition describes most of the traffic on I575 and Highway 92. Those two routes were designed for that purpose. Unfortunately, it also describes a portion of the traffic at City Center Main and an even a portion of the traffic on the Corridors cutting through to avoid the congestion at City Center Main.
Destination Traffic is traffic coming to start or stop in Woodstock as a resident, visitor, or business stakeholder. This definition describes all our citizens (even if they are commuting elsewhere) and describes the customers and employees of local businesses. These constituents are navigating traffic, finding a place to park (unless they walk or bike in), and then walking to their destination.
The Through and Destination Traffic have very different patterns and needs. The City also has very different obligations to these diverse groups when it comes to the Citymaintained streets, which excludes I-575 and Highway 92. The City has little obligation to Through Traffic, except as a portion of the state and national traffic flow that cannot be completely disregarded. The City has a deep and substantial obligation to the Destination Traffic that constitutes the residences and businesses of the community.
The flow patterns of both the Destination and Through traffic are best described by dividing the overall flow into sub-patterns according to corridor types as follows:
These are the heart of Through Traffic and of considerable convenience for Destination Traffic.
(1) I-575 – the primary north-south corridor of commuter traffic
(2) Highway 92 – the primary east-west corridor of commuter traffic
These are the heart of Destination Traffic, but also used by Through Traffic to some degree.
(1) Main Street – the primary north-south corridor of destination traffic
(2) AMR/TLP – the primary east-west corridor of destination traffic
City of Woodstock – Transportation Plan
These are the heart of access to residential neighborhoods but also used by cut-through traffic
(1) Neese Road
(2) Trickum Road (from AMR through Cobb Co line) and Ragsdale Rd & Barnes Rd spurs
(3) Dupree Road (from Main Street to Stone Bridge Pkwy)
(4) Dobbs Road
(5) Rope Mill Road
(6) Main Street (from Ridgewalk to Little River bridge and Serenade to Cobb Co line)
(7) Towne Lake Parkway (from Woodstock Parkway to Bells Ferry Road)
(8) Arnold Mill Road (from Dobbs Rd to Neese Rd)
(9) Ridgewalk Parkway
(10) Woodstock Parkway
(11) Molly Lane
(12) Parkway 575
(13) Buckhead Crossing
(14) Hames Road
These strongly impact City flows, positively or negatively.
East/West
(1) East Cherokee Drive/Main Street/Ridgewalk Parkway
(2) Jamerson Road/Shallowford Road
(3) Arnold Mill Road from Neese Road east to SR 140
(4) Towne Lake Parkway/Eagle Drive from split to Bells Ferry Road
North-South
(5) Bells Ferry Road
(6) Trickum (plus Ragsdale)- then split to either - AMR/Mill Creek or Barnes/NAMR
The relationships between the four main road types are intricate and diverse. The north/south relationship is in better order mainly because it is supported by a major freeway. And much of this region was built around that limited-access artery which flows toward the Atlanta Metro region and now supports the more recent growth to the north between Woodstock and Blue Ridge. The East/West relationship is not at all in good order, despite Highway 92 flowing reasonably well for a major divided highway with frequent crossings. Some of the blame for this condition can be placed on the railroad that must be crossed east/west, but most of the problems are related to the lack of an Outer Perimeter freeway that would be east/west in our area if it existed. This puts undo pressure on the Towne Lake/Arnold Mill corridor to support not only the Destination Traffic, but too much Through Traffic as well.
The City Center corridors were both used traditionally by Through Traffic, as well as by Destination Traffic, although there was very little destination traffic prior to the recent renaissance of Woodstock. However, north/south conditions are very different from east/west conditions, and changes in streets have also contributed greatly to a divergence. The first and most substantial difference is that the north/south Through Traffic is supported by a limited-access freeway, so Main Street was (since the 1980s) only a very limited alternative to the larger regional flow. This was further changed by aggressively lowering speed limits on Main Street as far north as Ridgewalk Parkway and as far south as Serenade Lane. Finally, the new Streetscapes design of Main Street created a very slow, pedestrian-friendly environment that serves to frustrate most Through Traffic, but not all.
Much of the Through Traffic that remains on Main Street is accidental – disoriented map/GPS followers often mistakenly diverted from I-575 – and is highly unlikely to ever attempt the pattern a second time. There remains a stubborn contingent of Through commuters utilizing Main Street all the way from Holly Springs to the Cobb County line and, although they are a small percentage of overall north/south commuters, most of which use I-575, the actual number remains substantial for such a small two-lane road with a 25-MPH speed limit and 5 traffic signals between Ridgewalk Parkway and Serenade Lane
The east/west pattern is substantially different. It is supported primarily by Highway 92 which is not limited-access like I-575. It traverses territory with frequent minor road intersections and several large intersections with left turn problems during rush hour. The east/west corridors of Highway 92 and TLP/AMR are also separated by a greater distance from one another than is the separation between I-575 and Main Street. This creates more intense demand (desire) of Through commuters with destinations north of Highway 92, especially the Towne Lake and Bells Ferry neighborhoods on the west side and the Highway 140 and (North) Arnold Mill neighborhoods on the east side. The Through Traffic patterns of these commuters are very diverse, but the predominant Through flow is westto-east in the morning and east-to-west in the evening, caused by so many residents of Towne Lake/Bells Ferry/Lake Allatoona neighborhoods with workplaces in Alpharetta and north Roswell, along the Ga 400 corridor. Again, this is traffic that might have been supported by an Outer Perimeter. This pattern is harder to overcome because the alternatives are unappealing and require a north/south detour at both ends of the commute.
The commuter who lives near the intersection of Eagle Drive and Bells Ferry Road, and works near Winward in Alpharetta, instinctively desires to use TLP/AMR as a primary artery of their commute. They do not want to go all the way south to Highway 92 on both ends of the commute, and Highway 20 poses a similar dilemma to the north. The only realistic alternative for such traffic is the intricate combination of East Cherokee Drive/Main St/Ridgewalk Parkway/I-575/Towne Lake Parkway. That pattern is very distinct and is one of the primary reasons for the expansion of the East Cherokee Dr/Main intersection to include dual left turn lanes westbound. This commute is also used by unincorporated neighborhoods of east Cherokee County to reach I-575 for commuting toward Atlanta. It is in the best interest of Woodstock to keep that flow as smooth and steady as possible because it diverts through traffic away from City Center Main. Even with that alternative corridor flowing well, there remains substantial east/west demand by Through Traffic on TLP/AMR, mostly because of the lack of obvious and desirable alternatives. This substantial east/west Through Traffic is likely to be impacted by street changes as TLP/AMR (from Woodstock Parkway to Dobbs Rd) becomes more like Main Street over time, with Streetscapes atmosphere, frequent pedestrian crossings, lower speed limits, and more traffic signals or roundabouts.
All the major road enhancements must also be in consideration of probable future developmental growth, as well as the needs of pedestrian traffic, parking availability, and event planning. The decisions involve trade-offs. The primary one is the trade-off between the needs of Through Traffic and Destination Traffic. There is a distinct and substantial difference in the strategies and needs of these two groups.
The Through Traffic patrons are often the most vocal critics of the growth and popularity of Woodstock because the previously uncongested 45-mph commuter route has been transformed into a consistently congested 25-mph destination route. As previously stated, a percentage of Through Traffic patrons have already been dissuaded from their pattern and have sought other alternatives due to the transformation of Woodstock, although occasional blockages on I-575 cause substantial fluctuations. This brings forth a major trade-off issue of how future improvements will impact on the dissuasion process of Through Traffic.
The transformation of Downtown Woodstock has been substantial and so has the dissuasion process of Through commuters. It is reasonable to conclude that logical and efficient-minded through-commuters have already been dissuaded from traversing through downtown during their commute. The remaining through-commuters have stronger needs than mere efficiency, such as fear of I-575 and Highway 92, nostalgia, or other emotional motivations. In terms of Pareto Principles, the easy 80% have already been dissuaded, while the remaining 20% represent two similar dilemmas for our road enhancement decisions: (1) Slowing downtown traffic further is unlikely to have much impact in dissuading the remaining hardcore commuters; and (2) Speeding up traffic flows downtown will likely invite a relatively high percentage of previously dissuaded commuters back into the fold. Thus, the strategy continues to be to improve the continual flow of the traffic patterns, but not to the degree that it allows higher speeds. This is a very difficult balance.
Another principal trade-off for the City decision-making process of road enhancements involves aesthetics and ambiance. Widening streets and building huge parking areas are legitimate strategy ideas, but they also alter the aesthetic ambiance that has become Destination Woodstock. The popular and congested downtown area requires frequent pedestrian crosswalks and sidewalks, communal parking alternatives, playgrounds for both children and adults, room for events and festivals, and many other components that are at odds with traditional suburban traffic flows and sprawl.
of Woodstock – Transportation Plan
The potential to transform the traffic flows through grid streets, roundabouts, and similar enhancements proceeds based upon opportunities that are often unforeseen in advance. They also involve enhancement decisions that are strategic, constantly changing, and involve complex property rights. The strategy is to add vehicular and pedestrian flow alternatives in the places where there exist logistical constraints and limited flow opportunities for motorists and pedestrians today. Such logistical constraints are especially acute near City Center Main in all directions. Therefore, alternatives for traversing around and avoiding that intersection within a six-block radius are constantly under consideration and study.
These are many of the difficult and intricate decisions to be made about future road enhancements. They involve how to help Destination Traffic flow smoothly in consideration of more neighborhoods along the local corridors and how to help the new downtown urbanism gracefully expand beyond a four-block radius.
City of Woodstock – Transportation Plan
City of Woodstock – Transportation Plan

The City of Woodstock has participated in the nationwide trend of the Smart Cities approach to municipal administration. This includes the administration of transportation initiatives. The primary transportation-related initiatives within our Smart Cities approach include:
Traffic Volume Pattern Recognition and Predictive Capability
Traffic Signal Operation and Data Collection Dashboard
Traffic Signal Adaptive Software and Techniques
Connected Vehicle Communications
Parking Management and Wayfinding
City of Woodstock – Transportation Plan
The goal for predictive pattern recognition is to utilize software to recognize specific traffic patterns by Time/Day/Season/Event, analyze those patterns and how they change over time in such a way as to rationally predict patterns and volumes in advance. This analysis allows for the most effective planning of infrastructure improvements. Such an analysis requires large amounts of complex data and software programs designed to make use of the data. Traffic counts have been collected periodically in the past at various locations for various reasons. Those counts have been stored in centralized electronic file location. More complex data was purchased from StreetLight Data in 2019 and in 2021, and then through PlacerAI and other providers, that helped staff understand the availability of information and the capability of recognizing patterns. Robust data is also available via the Regional Integrated Transportation Information System (RITIS) and has been utilized since 2022. The primary advance in 2024 was the new use of the Urban SDK platform for traffic counts, speed counts, trip times, accident reports, and overall accumulation of our data into one platform that can serve as the Transportation Control Center. This industry trend is now referred to as geospatial AI.
The patterns can be very complex for a City with a population under 50,000 because the patterns often involve several roads with multiple alternatives associated with each route. As an example, there is a distinct morning commuter pattern that begins outside the City along East Cherokee Drive. Commuters enter this pattern as far north as Highway 140 and travel southwest in the morning toward Main Street, then turn south on Main Street and enter the City Limits at the Little River Bridge, then turn west on Ridgewalk Parkway, and finally turn south on I-575. This pattern utilizes four separate roadways on good days, then changes to other alternatives when there is unusual congestion. Analyzing the primary patterns, with the alternatives, begins to multiply the complexity to a level requiring sophisticated software. However, the most sophisticated data collection and software services are generally designed and priced for state DOTs with extensive freeways and limited access points. This is why geospatial AI is usually best combined with manual visual observations and with citizen input.
The traffic count data that has been accumulated over the years has primarily been at intersections with traffic signals. This data was very limited because it was expensive to collect it on an infrequent basis. The first significant introduction of Smart Transportation Technology for the City occurred in 2020 with the installation of GRIDSMART at some traffic signals, of which eight intersections have been included as of 2024. The equipment at these intersections now provides real time access to traffic counts in every lane, with every turning movement, every moment of every day. And the data will be stored forever as a historical database. The software at these intersections will be upgraded to include full connected signal coordination once the smart technology is installed at more signals.
However, manual coordination of a limited number of signals is already in place and will be greatly enhanced in 2024 Also in 2024, the City added the technology of Urban SDK that includes 365X24 analysis of traffic counts and speeds on every City street, along with the capability of combining traffic accident data and GRIDSMART data. The capability of this technology also includes adaptive techniques and connected vehicles to be discussed next.
An adaptive traffic control system is a mechanism to change signal timing in real time based upon demand data arriving from sensors prearranged in the pavement or from another nearby traffic signal, and eventually in Connected Vehicles. This capability is hindered by the safety requirements associated with traffic signals requiring yellow warning times and failsafe internal controls that eliminate the possibility of two simultaneous greens in conflict.
The adaptive software available in the marketplace today was designed for major roadways with limited access. The ability of Woodstock to utilize such a software program is very limited, but we can use adaptive techniques to maximize effectiveness in our unique circumstances. This will be addressed again in the Smart Cities Traffic Project section below. Future adaptive technologies are likely to be associated with the connected vehicle phenomenon, as well as on-demand autonomous vehicular traffic.
The Transportation Plan includes cooperating with the international initiative to establish “connected vehicles” that know where other nearby vehicles are, that can receive warning alerts, that can communicate with traffic signals and can establish unprecedented safety and mobility for the public. This initiative includes establishing the technology within vehicles by the original equipment manufacturers, but it also includes connectivity to infrastructure such as traffic signals and railroad crossings. Although connected vehicles may sound futuristic, there is likely to be exponential growth before 2030. The industry movement toward autonomous on-demand vehicles necessitates the connection of every vehicle for every purpose. This could occur as fast as the introduction of seat belts or airbags did in previous decades.
Smart Parking Technology includes devices and software that can simultaneously track the availability of parking spaces in multiple locations and help guide drivers to parking options without unnecessary circling or delay. It includes the ability to analyze usage trends for maximization of parking infrastructure. Various options are currently under consideration for downtown Woodstock parking management. Also under consideration is a possible system within the new parking deck at City Center for “adaptive parking” that can change the usage type availability based upon the demand at differing times.
City of Woodstock – Transportation Plan
The Smart Cities Traffic Project 2022/2023 was a coordinated project between the City’s Smart Woodstock Program, Inclusive Innovation Smart Community Corps, and Georgia Tech’s Serve-Learn-Sustain program. The project included an analysis of traffic congestion in Downtown Woodstock, along with understanding how the traffic patterns would be changing with the completion of the Hub Transformation Project, and how traffic signal coordination should change accordingly to help improve efficiency and safety. The primary summary findings are as follows:
Congestion is a product of popular destination traffic mixed with cut-through commuters.
Considerable inefficiencies exist at City Center Main and nearby that will be addressed in the Hub Project, including (a) Lack of TLP eastbound left turn lane at Main; (b) Mill Street as a limited one-way street; and (c) Combined impact on Main Street from TLP to Mill causes extreme difficulties for north/south traffic.
Railroad, School buses, and Emergency vehicles produce extreme limitations and demands.
Festivals, events, and detours from I-575 cause frequent disruptions.
Pedestrians and on-street parking cause additional disruptions.
Existing data sources should be augmented using RITIS, Urban SDK, and additional resources.
Adaptive Traffic Control Systems (ATCS) are not suitable to solve the complexities of downtown Woodstock traffic because they were designed for limited-access highways.
Woodstock should take the “adaptive” approach but implement it as a “trafficresponsive” plan in a customized manner that requires frequent manual observations and adaptations, primarily utilizing remote access and tools such as the GRIDSMART program already underway.
City of Woodstock – Transportation Plan
The pretimed signal plans should be multiplied and fine-tuned to specific pattern changes associated with time of day, day of week, season of year, scheduled events, and unexpected detours from I-575.
The clocks on all downtown signals should be regularly synchronized to allow for more perfect set-plans along the two axes of travel.
The cross streets on each axis should be synchronized with precision to allow for maximum flow, except for actuated time periods in the late-night period.
After Hub Transformation completion, the primary remaining disruption in flow will be from the three mid-block pedestrian crossings on Main between Elm and Fowler, and these should be reduced to one “protected and restricted” crossing near Elm Street.
Other remaining disruptions would be school buses and emergency vehicles that can be partially resolved by a new project with the school system and a pre-emption for FS14 emergency vehicles that use this route the most frequently.
The downtown patterns should be continually researched through the latest technology and that research should be regularly used to fine-tune these plans.
City of Woodstock – Transportation Plan

City of Woodstock – Transportation Plan

Traffic signal timing involves determining the sequence of operation and assigning green time to each approach at an intersection while considering time for pedestrians and other users as well. Understanding cycle timing requires a look at some fundamentals such as cycle lengths, phases, splits, peak hour trends, pre-timed and actuated signals, optimization, coordination, and communications. It also requires a very basic appreciation for safety and the fact that the entire traffic signal industry has been constructed around the issue of safety. Traffic signals are designed and manufactured to prohibit the possibility of simultaneous green signals in opposition to one another. And they are required to include mandatory yellow signals in preparation for switching from green to red. This necessarily limits the flexibility for fast plan changes or adaptive techniques that might endanger the public. The issue of traffic flow efficiency will be subservient to the issue of safety, until such a time that the two can be merged in a completely automated control system of both signals and vehicles.
Cycle length is the amount of time required to display all phases for each direction of an intersection before returning to the starting point, or the first phase (split) of the cycle. Cycle lengths are based on traffic volumes and work best within a certain range depending on the conditions of the intersection. The goal of signal timing is to find an optimum cycle length for the most efficiency during a particular time-period. The most efficiency is generally produced when the green phase provides the most vehicular throughput, while wasting the least amount of green time with no vehicles passing through. Typical cycle lengths generally range from one to three minutes.
A split is the directional flow, which is normally comprised of two splits per intersection, although complex intersections may be comprised of more than two splits. The traditional dual split would be comprised of one split for east/west and another split for north/south. Each split can maintain different cycle lengths, to include the green and yellow times. The needs of each split would include anticipated traffic demand in that direction, as well as differences in travel speed and roadway conditions. The differential between splits always requires balancing the need for efficiency against the tolerable waiting times for the cross traffic. A typical intersection would rarely have traffic demands in opposite directions that are perfectly equal. Most intersection splits are unequal, favoring one split with longer cycle times than the other split. Heavier traffic patterns require longer cycle times to lessen the likelihood of gridlock, but they also frustrate cross traffic. Traffic signal planning involves finding the most effective balance between the need for efficiency and the human emotion of frustration.
The start and stop times at a traffic signal create a wave effect as drivers have differing reaction times. The sequence creates an “accordion effect” due to the unpredictable amount of reaction delays within a platoon of vehicles, especially at the start of the green cycle. This accordion effect creates a dramatic difference in traffic flow efficiency between short and long cycle times. Cycle time of 60 seconds is much more than double the pure through-put efficiency of a 30 second cycle time because the accordion effect is cumulative. Longer cycle times minimize the accordion effect overall, while shorter cycle times exacerbate the impact. This accordion effect has increased in the age of cell phones
and technological distractions, and this has made traffic congestion worse even where the actual traffic volume has remained the same.
Pre-timed signal plans are predetermined based on observed traffic volumes and trends. These pre-timed plans are common during the heaviest traffic periods and allow for elongating the cycle splits for maximum efficiency. They are uninterrupted by crosstraffic actuation.
Actuated signal plans are usually a cross of a pre-timed plan, plus interruptions based upon the actuation at the cross street. Such plans are common in low-volume time periods, and they usually keep the primary directional flow green until the cross street is actuated by detecting a vehicle in waiting. The variations of actuated plans are practically limitless depending on the circumstances at any given intersection. Actuation requires devices that can detect the presence of vehicles, such as in-road detection loops or cameras above the intersection, both of which are subject to individualized failures.
Signals are typically coordinated on a time-of-day basis for each associated peak period. The most common peak periods are the AM and PM rush hours associated with commuter traffic on weekdays. There are also destination peak periods associated with known events, such as schools, factories, shopping, event venues, and restaurant districts. These destination trends may or may not blend into either or both commuter rush hours. Depending on circumstances, any of the traffic trends may be heavily “directional,” often with a definitive in/out directional trend, such as south in the morning rush hour that reverses to north in the evening rush hour.
Detection systems are critical to actuate signals, using various methods to detect a vehicle approach. Examples include induction loop detectors, radar, sub-pavement electromagnetic pucks, and video detections. Induction loops are wiring that are placed in saw cuts in the pavement and run back to the traffic signal cabinet. There are less intrusive forms of detection, such as radar detection and video detection that typically also require less maintenance. However, all forms of detection are subject to failure,
which require constant monitoring and maintenance, especially if there is extensive use of actuation within the signal plans.
Within the traffic signal cabinet is a traffic signal controller that acts as the “brains” of the traffic signal. The controller sends signal instructions of what to run, how long to run, when to run, etc. The controller collects information from the intersection through the detection system, decides how to respond, and then controls the operations of the traffic signal lights. Some systems include collecting and storing extensive information, usually off-site by sending the data to a centralized data server.
Signal plans are important at all signals, but the design of plans becomes much more complicated when they must be coordinated in groups. Isolated intersections only require a plan for one intersection based upon known conditions. System intersections (groups of intersections relatively close together with influences on one another) have exponentially increasing complexities based upon the degree of differences between signals in the system and the need to coordinate those differences. System intersections are usually closely spaced intersections and any timing changes at one intersection influences the upstream and downstream intersections. Therefore, system intersections are frequently programmed to be synchronized exactly, without variation except in lowvolume actuation-based periods.
Often signal system corridors can be connected via fiber optics, copper wiring, or wireless networks to each other and/or to local traffic management centers (or traffic control centers) where they are monitored and controlled remotely. Through remote connections, an engineer or a computerized system can communicate directly to intersections and make remote changes to the traffic signal operation. Remote communications and signal operation allow agencies to make changes to traffic plans or patterns during special events or incidents. Traffic signal timing and coordination is rooted in sophisticated algorithms and optimization models, but there is no “one size fits all” solution because there are many factors such as local trends and driving behaviors involved.
Progressive offsets are used on corridors with very distinct commuter patterns that are reversed between morning and evenings. This allows for one-directional offsets that can be reversed for the opposite end of the workday. This gives preference to the commuter pattern by progressively timing greens as the traffic moves forward in such a way as to create a very long series of non-stop green lights. This strategy is unlikely to be useful in Woodstock because it is helpful only in cases with extreme commuter patterns. What is progressive in one direction is regressive in the opposite direction.
Adaptive signal timing is the most complex of all signal timing technology. Adaptive timing requires sophisticated detection devices in all directions, usually much further away from the intersections, and uses information from these devices to change signal timing adaptively. This type of software programming adds tremendously to the complexity of system coordination. The traffic signal industry has only recently developed this type of software, which is obviously most successful in “controlled” circumstances, where limited-access highways can have more control in all directions and for all possible disruptions. It may seem counterintuitive, but large limited-access highways (even with very high traffic counts) have much less complexity than smaller streets and roads that have a plethora of connections, driveways, pedestrians, parking, and disruptions at unpredictable lengths.
The Downtown Woodstock Coordinated Signal program is comprised of City Center Main, Main/Mill, Main/Fowler, Main/Dupree, and AMR/Hubbard, plus an anticipated addition soon at AMR/Bentley. A more extended version of this “signal system” sometimes includes Main/Serenade, Main/Sam’s and TLP/Woodstock Pkwy. However, it should be noted that Main/Sam’s and TLP/Woodstock Pkwy are component parts of other signal systems associated with SR92 and I-575 Interchange and will remain connected to those larger systems due to their massive traffic volumes. It is also in the best interest of the City to use Main/Serenade to facilitate the smoothest possible transition between the Woodstock Downtown and SR92 systems. For the purposes of this discussion, we will primarily be addressing the Downtown Woodstock signal system.
The City of Woodstock officially operates 20 local traffic signals (including the impending addition at AMR/Bentley) but also monitors and coordinates with other jurisdictions at 39 nearby signals. These include those along SR92 within our City Limits, but within the GDOT ROW jurisdiction. The number of signals has grown substantially over the years. The City only has two true signal systems (Downtown 6 and Ridgewalk 6), comprising 12 of the 20 signals, while the others would be characterized as “isolated” or connected to the systems of other jurisdictions. The City maintained very few traffic signals prior to the year 2000, and there was very little traffic to be controlled, except at City Center Main, and that was only during rush hours for cut-through traffic.
This new plan describes the Downtown Traffic Signal Plan and concentrates on the six downtown signals. This plan will also consider the three other nearby signals at Sam’s, Serenade, and Woodstock Pkwy for planning purposes. Half of the six downtown signals were installed since the end of the Great Recession. It was in this period that Downtown Woodstock became a popular destination, with destination and commuter traffic competing for access at the six signals. It is unlikely that many more signals will be included in the future within the Downtown District. This is because the Woodstock Transportation Plan calls for the construction of roundabouts at intersections in place of traffic signals, where feasible. The three most recent additional signals (Fowler, Hubbard, and Bentley) are at tight intersections without the realistic space needed to construct a
roundabout. That is also true for the oldest three signalized intersections (Main, Mill, and Dupree). The new roundabout at TLP/Mill has been constructed in an area with sufficient space and will be serving to replace what would have been a necessary seventh signal in the system.
There was no formal downtown signal coordination “system” or plan until 2017. Prior to that, the signals were manually coordinated for the singular purpose of maximizing cutthrough commuter convenience. As the Fowler and Hubbard signals were added, there was a new need for coordination. The destination traffic was substantially changing the traffic patterns. The first plan was facilitated through a grant, and it combined GDOT and Arcadis engineering analysis in 2017. This plan essentially created the synchronization of the two competing axes and concentrated on the hardware necessary to achieve synchronized clocks, while manually installing the same pre-time and actuated plans on each axis. This plan was a good first step. However, the plan suffered from a fast-changing hardware environment and an even faster change in the downtown traffic patterns, especially the extreme popularity of the Market Street district. This plan was updated again in 2019, mostly to accommodate the changed destination traffic.
The City has now completed the Hub Transformation and Arnold Mill Road construction projects. These projects have changed the traffic patterns yet again. The Smart Cities Traffic Project (SCTP) was initiated in 2022 to consider downtown traffic signal coordination considering the changing technology and traffic patterns. The SCTP was completed by graduate students from Georgia Tech, as part of the Smart Community Corps program. Their findings were presented to City Council on August 8, 2022, and the summary findings were included in the previous section of this document.
In August-November 2023, the City conducted an analysis of the downtown signal plan (and nearby signals) to maximize the advantages of the Hub & AMR projects. The overall traffic flows were improved dramatically, but there were four unintended consequences that were addressed: (1) SB Main between TLP and Mill was regularly filling beyond capacity, thereby creating congestion at City Center Main; (2) Flashing yellows at the City Center Main three left turn lanes were creating congestion and safety concerns; (3) NB Hubbard left turners were frequently impeded by lack of queuing space; and (4) NB Main was experiencing unusual congestion from Serenade to SR92 due to side street timing at the Serenade traffic signal. All four of these issues were resolved by changes that were completed in early December 2023 and described below in the next section.
City of Woodstock – Transportation Plan
The traffic signal at City Center Main is the lynchpin of downtown signal coordination because this is the point where the east/west and north/south axes cross paths. This crucial intersection is very congested and has severe physical limitations that restrict widening options. The intersection was renovated in 2023 with the Hub Transformation Project. Therefore, the detailed specifics of the current configuration are important components of the 2025 Transportation Plan. There are 9 inbound lanes entering the intersection. These are numbered in the following diagram, and those numbers will be referred to in the descriptive sections below.

Lanes –
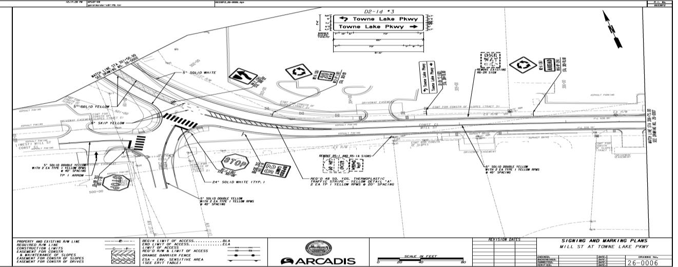
Towne Lake Parkway was widened in the Hub Transformation Project to include an eastbound left turn lane at Main Street (Lane 1). This was a crucial aspect of the overall project because the lack of this turn lane had previously been overcome by turning Mill Street into one-way traffic and forcing these left-turning vehicles down Mill Street to turn left onto Main Street (thereby traveling an unnecessary additional block on Main St between Mill and TLP, the shortest and most congested block in the City between two signals). The old configuration was reasonably successful until 2016. By that time, traffic volume through downtown Woodstock had risen considerably, and the new popularity of the Market Street District began creating intense strain by forcing destination traffic leaving the Market Street District through a similar route as the left turn traffic already on Mill Street.
The Hub Transformation Project solved both issues by establishing the TLP Left Turn Lane, creating the roundabout at TLP/Mill, and turning Mill Street back to two-way traffic. In the project planning process, it was noted that most of the traffic turning left onto TLP from Main Street (Lane 3) were doing so because they were exiting the Market Street District toward I-575 and Towne Lake neighborhoods to the west. It was also noted that northbound Main Street traffic was being severely delayed by right-turning vehicles making an arduous turn across the railroad tracks and crosswalk at the same time (Lane 4). Therefore, the project plan included exchanging the dedicated left turn lane for a dedicated right turn lane.
Signal –
The traffic signal at City Center Main was reconfigured to include the new eastbound TLP turn lane (Lane 1), as well as the reconfiguration of the two northbound lanes exchanging a dedicated left lane for a dedicated right lane (Lanes 3 & 4). After project completion, the signal timing was adjusted to obtain the most appropriate lane timing associated with the new vehicle patterns. This primarily included the time length of dedicated left turn arrows, the alternate use of “leading” or “lagging” timing plans, and the alternate use of flashing yellow left turn arrows. Leading left turn arrows provide a dedicated left turn at the beginning of a cycle, while lagging left turn arrows provide a dedicated left turn at the end of a cycle. The following signal configuration (during prime usage hours) was instituted in December 2023:
- Southbound Main Street left turn onto AMR (Lane 7) was turned into a Lagging Left Turn arrow. This lagging aspect was created to maximize northbound traffic throughput. The northbound queue is full at the beginning of the cycle, but not full at the end of the cycle (Lane 3), due to staggering toward the end of the cycle. The staggering is caused by a combination of pedestrian crossings, on-street parking delays, and general distraction by drivers. Therefore, the lagging left at Lane 7 dramatically improves the northbound throughput in Lane 3, without changing the amount of time used for the dedicated left arrow. Additionally, the flashing yellow turn arrow is not used in Lane 7 due to the immediate conflict between the southbound left turn lane and the northbound straight lane, which creates no capacity for vehicles to stage a left turn in the middle of the intersection.
- Eastbound TLP left turn onto Main Street (Lane 1) was turned into a Leading Left Turn arrow, with usage of flashing left turn arrow in the remainder of the cycle. The leading aspect was created to lessen the probability of eastbound congestion caused by inadequate left turn queueing capacity, prioritize the higher traffic volume (EB Left greater than WB Left) and to minimize conflict with the westbound AMR turn lane designed as a lagging pattern.
- Westbound AMR left turn onto Main Street (Lane 5) was turned into a Lagging Left Turn arrow, with usage of flashing left turn arrow in the beginning of the cycle. This allows best use of the extended queuing space of the turn lane, and to provide an opposite configuration to the eastbound configuration, thereby minimizing conflict between eastbound and westbound in the middle of the difficult intersection.
The lane and signal configuration will become more familiar to regular users over time. And GPS providers are incorporating the new configurations into their systems. Signage has been added as shown in the following photos.


City of Woodstock – Transportation Plan


City of Woodstock – Transportation Plan
The existing signal plan for Ridgewalk Parkway is working efficiently at this time but will be revised in 2025 after review of the most recent traffic patterns. The new signal system plan for Ridgewalk Parkway will be based on similar concepts and techniques as discussed above on Main Street but will be adapted according to the conditions of the parkway. Ridgewalk Parkway is a busy corridor that also struggles with a conflict between cutthrough commuter patterns mixing with destination shopping traffic. However, these patterns are much more consistent and predictable than downtown, except for unanticipated traffic problems on I-575 that periodically deluge the parkway with gridlock levels of congestion. Even the very high volumes associated with holiday shopping are largely predictable, although difficult to control based upon sheer volumes.
The primary advantage at Ridgewalk Parkway is that the two directions are not at all equal, so the east/west traffic will always have significantly longer cycle times than the north/south cross streets that are not through streets, except for the connected ends at I-575 and Main Street. This requires very careful coordination for the weekday rush hours, weekend shopping/church schedules, and special holiday schedules. The primary emergency plans will be devised in such a way to accommodate I-575 diverted traffic, one plan for northbound and another plan for southbound.
Overall, the plan follows the same concept of directional synchronization and maximizing cycle lengths during the heaviest traffic volume periods. The plan will also be helped greatly by the newly designed diverging diamond interchange at I-575. This will allow for the elimination of one signal configuration for most vehicle movements at the interchange by creating continual movement patterns for entrance ramps for traffic that had previously been congested by the wait for left turn protected arrows. The timing of the interchange project is unpredictable, so this plan is likely to be updated before and after the interchange project.
Based on the conditions and recommendations above, the Public Works Department, in conjunction with outside engineering firms, will continue to revise traffic signal timing plans. The Downtown Woodstock Plan will include City Center Main as the axis point of control with several levels of cycle lengths as described below, to be based on a review of the traffic volumes by 15-minute increments in the data as captured since the installation of GridSmart at City Center Main and other nearby locations. The cycle lengths of fixed plans would be synchronized by axis, with East/West synchronized as City Center Main, Hubbard Rd, and Bentley Pkwy, and with North/South synchronized as City Center Main, Mill St, Fowler St, and Dupree Rd. Serenade Lane and Woodstock Parkway signals would also be coordinated to the degree feasible without jeopardizing the coordinated plans of Highway 92 and the TLP Interchange. Off-peak, actuated plans will maximize flexibility by rotating the City Center Main directions with short cycle lengths, while allowing all other signals to remain green on the Main/AMR corridors and to actuate (with very short cycles) for side street access as necessary.
The various cycle lengths would be established for the most distinct time periods throughout the day by 15-minute increments as warranted in the analysis of the data. The following chart provides examples of relative length, but the exact lengths will not be determined until after the data is fully analyzed:
Cycle A – 180 seconds.
Cycle B – 140 seconds.
Cycle D – 120 seconds
Cycle E – 100 seconds.
Cycle F – 90 seconds.
Cycle G – 80 seconds.
Cycle H – 70 seconds.
Cycle I – 60 seconds.
Cycle J – 50 seconds.
Cycle K – 180 - 240 seconds for unusual disruptions as determined by circumstances.
Strategy to be used in deciding which cycle splits to utilize under various conditions:
Cycle times of higher or lower lengths will be considered and used as appropriate.
Continual adjustments and improvements will be considered each day.
Cycle times for each axis will be considered based on relative value to the opposing axis.
North/south volume usually surpasses east/west volume in the PM peak, while East/West volume usually surpasses north/south volume in the AM peak, but the difference will be based on the available data
The longest cycles will be used only during the highest volume periods.
The longest cycle time will be evening rush hour (and periodic emergency conditions).
Actuated cycles will be used only during the low volume periods.
Cycles longer than 120 seconds are likely to cause adverse effects based upon frustration.
Longer cycle times create greatest efficiency, but also maximum frustration to cross traffic.
Plans and cycles must be continually assessed based on changing conditions.
The impact of Hub Transformation Project, Arnold Mill Road Project, Mill/Wheeler Connection Project, and Parking Deck Project should be assessed and included in revised plans
Clock calibration at each signal is essential.
Plans should be pre-set at all 6 signals with exact synchronicity by axis, as feasible.
City of Woodstock – Transportation Plan
The new plans should result in greater throughput efficiency in the busiest times, without creating undo frustration, and accommodating maximum flexibility during the least busy times. That sounds easier than it is to accomplish in real-time.
The plan for the pre-set periods of the day:
North/South will be synchronized for simultaneous greens that should allow for vehicles to traverse through City Center Main, Mill St, and Fowler St under most conditions, while east/west is in simultaneous reds.
East/West will be synchronized for simultaneous greens that should allow for vehicles to traverse through City Center Main and Hubbard Rd (Bentley soon) under most conditions, while north/south is in simultaneous reds
There will be variations to these patterns based upon differences in the turn lanes associated with each traffic signal. Although the entire directional split is synchronized, the individual turn lane configuration utilizes a portion of that directional split. This is most impactful to the turn lanes at City Center Main, which is the only intersection with high traffic counts in the turn lanes, which will require longer turn lane cycles than elsewhere. (See previous City Center Main section). This will allow the downstream signals to release straight traffic slightly before City Center Main, thereby maximizing the throughput efficiency northbound and westbound, while not impacting southbound and eastbound.
The exceptions to this improved efficiency will be the previously mentioned interruptions of pedestrians, trains, school buses, emergency vehicles, on-street parking, driveways, and other temporary conditions. Many of these cannot be solved by coordinating traffic signals. Therefore, three of the most impactful (pedestrians, school buses, and emergency vehicles) will be addressed in separate projects designed to mitigate the most extreme problems associated with those three issues.

City of Woodstock – Transportation Plan

City of Woodstock – Transportation Plan

City of Woodstock – Transportation Plan
City of Woodstock – Transportation Plan

Roundabouts create a method for continual movement at an intersection that can keep traffic flowing with minimal congestion but without the need for a traffic signal or all-way stop sign. This very efficient transportation design has already been utilized at three public street locations in Woodstock, as well as at some private locations. This Transportation Plan encourages the expansion of Roundabouts wherever feasible.
The plan calls for roundabouts to replace existing stop signs and traffic signals when feasible. It also preferences roundabouts over signals or stop signs in new developments and at new public intersections. This includes roundabouts of various sizes and emphasizes the use of the mini-roundabout concept in lower volume positions where allway stop signs might be displaced. The GDOT Roundabout Design Guide will be used as the primary guide and it will be augmented by the FHWA research on Mini-Roundabouts, as can be seen in the two illustrations below:
City of Woodstock – Transportation Plan

City of Woodstock – Transportation Plan

City of Woodstock – Transportation Plan


City of Woodstock – Transportation Plan


City of Woodstock – Transportation Plan

City of Woodstock – Transportation Plan

City of Woodstock – Transportation Plan
The Planning Process includes existing, planned, and aspirational roundabout locations as follows:
Main Street at Haney Road
Woodstock Parkway at Rope Mill Road
Towne Lake Parkway at Mill Street
Neese Road at Washington/Driftwood
Neese Road at Arnold Mill Road
Trickum Road at Nocatee Trail
Arnold Mill Road at Dobbs Road
Trickum at Sycamore
Trickum at Ragsdale
Ragsdale at Persimmon
Trickum at Barnes
Barnes at Brookdale
Barnes at Meadowland
Ragsdale Rd at Cornerstone
Gold Creek at Claremore
S Cherokee Ln at Lakestone
Running Deer at Buckhead Crossing
Woodlands Pkwy at Celandine
Woodpark Pl at Woodpark Blvd
Neese at Grand Oaks
AMR at Trickum (wholly outside jurisdiction)
AMR at Barnes (wholly outside jurisdiction)
Main at Rope Mill Road
Main at Serenade
Main at Brighton
Dupree at Market
Dupree at Reeves
Dupree at Goshen/Paden
Dupree at Stone Bridge (wholly outside jurisdiction)
Barnesdale at Paden or Reeves or Market
Dobbs at Melanie (mini)
Lyndee at Rusk (mini)
Ridge at Plantation (mini)
Ridge at Whitfield (mini)
Haney at Windfields (mini)
Ragsdale Rd at Ragsdale Terr (mini)
City of Woodstock – Transportation Plan

Other road enhancements include more rapid response projects that can mostly fit inside existing right-of-way boundaries. These primarily include the addition of brief left or right turn lanes, the slight widening of streets where ruts develop, and changes in signage and striping that add to safety and convenience. These measures within the streets have been found to be very helpful in improving the overall flow of vehicular and pedestrian traffic. (Within neighborhoods, such activity will be covered in the Traffic Calming section of this document).
The rapid response projects associated with the state routes of I-575 and SR 92 must be approved by GDOT and usually proceed through the GDOT prioritization and procurement processes, according to established guidelines. The City of Woodstock can influence these processes by conceiving of the improvements and sponsoring the conceptual designs. The larger projects on I-575 and SR 92 must go through very elaborate and time-consuming processes, such as the projects listed in the Major Projects section. The projects of lesser scope can often proceed faster. They are called Quick Response Projects by GDOT.
of Woodstock – Transportation Plan
Two Quick Response Projects are included in this 2025 Transportation Plan. They are both on I-575, one at the Ridgewalk Parkway Interchange and one at the Towne Lake Parkway Interchange. These should not be confused with the comprehensive interchange projects. These two projects have the Quick Response moniker in the project title for clarity.
The I-575 at Ridgewalk Parkway Quick Response Project design adds an eastbound lane on the western side of the interchange. The extra lane serves as a dedicated right turn lane onto the I-575 southbound entrance ramp. This allows vehicles uninterrupted access to the ramp by shifting the straight travel lane out of flow of interruption. This design also considers the changes inherent in the future full interchange project, to avoid unnecessary conflicts. This project was completed in 2024.

City of Woodstock – Transportation Plan
The I-575 at Towne Lake Parkway Quick Response Project design adds the second eastbound TLP turn lane onto I-575 northbound entrance ramp. This extra turn lane has been supplied within the current width of Towne Lake Parkway, although small widening was necessary on the entrance ramp to receive the new dual-left turns appropriately. This work was consistent with the design of the comprehensive interchange project. And it solves one of the primary deficiencies of this interchange. This deficiency was caused by the shift over multiple decades from a lopsided interchange serving commuters going toward Atlanta, to a more balanced interchange serving a higher volume of northbound commuters. This shift has caused severe congestion to eastbound Towne Lake Parkway travelers once the left-turners back up into the travel lane. Once that initial back up occurs, the congestion quickly continues to consume intersections back to the west, frequently reaching all the way to Eagle Drive. This project was completed in 2023.

City of Woodstock – Transportation Plan
I-575 at Towne Lake Parkway Quick Response Project Complete

City of Woodstock – Transportation Plan
I-575 at Towne Lake Parkway Quick Response Project Complete

City of Woodstock – Transportation Plan
Both Quick Response Projects just highlighted serve to illustrate the extreme importance of turn lanes. The addition of brief left or right turn lanes is a very important component of this overall transportation plan. Blockage caused by left turners is a major component of the traffic congestion on two-lane roads This strategy within the transportation plan has evolved because of the success found in previous projects to install turn lanes. Although these turn lanes can often only accommodate two cars or one truck, that has been found to take care of over 50% of turners and sometimes the percentage is nearing 100%. These short lanes are also more feasible from available right-of-way and can sometimes be easily incorporated within other road repairs or resurfacing work.
The following are examples of successful brief turns of the past few years:



City of Woodstock – Transportation Plan
Serenade Right Turn Lane to Main Street Northbound


City of Woodstock – Transportation Plan


City of Woodstock – Transportation Plan
The City corridors are largely two-lane roads. Two-lane roads can accommodate 1900 vehicles per lane per hour, if the traffic is not blocked by traffic signals, stop signs, leftturners, on-street parkers, or pedestrians. The City Center extended corridors of Main between Ridgewalk and Serenade and TLP/AMR between Woodstock Parkway and Dobbs Road include only six traffic signals and no stop signs. The primary short-term strategy for improvement in congestion is to coordinate the signals to foster smooth, unstopped patterns and to create as many brief left turn lanes as feasible to lessen temporary blockages. This strategy is likely to increase the potential flow much closer to pure capacity of two-lane roads and provide more immediate relief while longer-term grid streets, roundabouts, and alternative routes are developed over time. However, there are severe limitations to north/south flow improvements on Main Street due to the extreme volume of pedestrians, as well as space limitations that make left turn lanes onto Elm Street and Oak Street unrealistic.
The list for past and future turn lanes includes:
Recently Completed 2018 and After
- Northbound Main Street turning northwest onto Rope Mill Road
- Southbound Rope Mill Road turning north onto Main Street
- Northbound Main Street turning west onto Bell Parkway
- Southbound Main Street turning east onto Johnston Farm Lane
- Westbound AMR turning south onto Sandy Circle
- Westbound AMR turning south into AME Church
- Eastbound AMR turning north into Senior Center/FS14
- Dual Southbound Buckhead Crossing turning east onto TLP
- Westbound TLP turning south into businesses at Tag Office area
- Rope Mill Road southbound turning east into WES Bus Entrance
- Dual Eastbound Ridgewalk Pkwy turning north onto Main Street
- Dual Northbound Main Street turning west onto Ridgewalk Pkwy
- Southbound Main Street turning east onto Lincoln Street at Ace Hardware
- Southbound Main Street turning east onto Brooke Boulevard
- Northbound Main Street turning west into Transfer Station
- Eastbound TLP turning north onto Main St (2023)
- Northbound Main Street turning west onto Mill Street (2023)
- Eastbound AMR turning north into Amphitheater (2023)
- Westbound AMR turning south onto Hubbard Rd (2023)
- Northbound Hubbard Road turning west onto AMR (2023)
- Dual Left Southbound Neese Rd turning east onto Highway 92 (2023)
- Dual Left Eastbound Highway 92 turning north onto Neese Rd (2023)
City of Woodstock – Transportation Plan
- Westbound AMR turning south onto Bentley Parkway (2025)
- Dual Left Westbound Highway 92 turning south onto Trickum Rd (2026)
- Dual Left Southbound Trickum Rd turning east onto Highway 92 (2026)
- Dual Left Northbound Trickum Rd turning west onto Highway 92 (2026)
- Eastbound Dupree turning north onto Main St (2027)
- Southbound Main St turning east onto Dupree Rd (2027)
- Northbound Main Street turning west onto Barnesdale Terrace (2027)
- Eastbound AMR turning north onto Dobbs Road or roundabout (2027)
- Westbound AMR turning south onto Arnold Mill Way or roundabout (2027)
- Southbound Dobbs Rd turning east onto Arnold Mill Road or roundabout (2027)
- Triple Left Northbound Main St turning west onto Highway 92 (2027)
- Eastbound AMR turning north into 229-233 AMR west entrance (2028)
- Eastbound AMR turning north into 229-233 AMR east entrance (2028)
- Westbound AMR turning south into 238 & 240 AMR shared entrance (2028)
- Dual Left Southbound Parkway 575 turning east onto Highway 92 (2028)
City of Woodstock – Transportation Plan

The first two corridors listed below are controlled by the State of Georgia, while the remainder are controlled by the City (in part or in total). Each of these have tentative longrange plans as described below and/or as described in the Projects section. They are listed herein for coordination purposes.
City of Woodstock – Transportation Plan
The travel lanes of I-575 are considered as regional flow matters that are coordinated across many jurisdictions, so the primary local input concerns interchanges and ramps. There are three I-575 interchanges within the footprint of the City of Woodstock. The SR 92 interchange involves one State Roadway intersecting another, so changes there are pursued by the State, with some input from the city and the county The City and County have jointly pursued substantial changes to the two interchanges that include local roads, Towne Lake Parkway and Ridgewalk Parkway. These major projects are listed in another section with conceptual designs and shown in smaller form below. And they both had GDOT Quick Response projects at these intersections that are shown below.
The I-575 at Ridgewalk Parkway Interchange features a major enhancement project as shown below:

City of Woodstock – Transportation Plan


City of Woodstock – Transportation Plan
The I-575 at Ridgewalk Parkway Interchange features a Quick Response project as shown below:

City of Woodstock – Transportation Plan
The I-575 at Towne Lake Parkway Interchange features a major enhancement project as shown below:

The I-575 at Towne Lake Parkway Interchange features a Quick Response project as shown below:

City of Woodstock – Transportation Plan
The SR 92 Corridor continues through the entire east/west jurisdictional lines of the City. It is controlled by the State of Georgia, with input from the City primarily at the intersections where City streets are crossed. The enhancement plan described herein concerns mostly the numerous intersections.
Four intersection projects have been completed in the past six years (Ragsdale Road, Molly Lane, Woodstock Square, and Neese Road) and have provided a very positive impact for traffic flow. Three more intersection projects are designed and in various stages of development. These are the Main Street, Springfield Drive, and Trickum Road intersection projects as shown below and with more detail in the Projects section.

City of Woodstock – Transportation Plan


City of Woodstock – Transportation Plan
Springfield Drive at SR 92

City of Woodstock – Transportation Plan


City of Woodstock – Transportation Plan
The intersections along the SR 92 corridor need to be continually analyzed and included in future planning. Current planning analysis has identified one more major intersection improvement at Parkway 575 to plan for an additional outbound lane to be established for exiting the city street onto the state highway. Additionally, many current intersections need to add dedicated turn arrows within traffic signals at the side streets to improve safety.
The travel lanes of SR 92 will be continually analyzed and improved by the State, mostly within the context of the nearby intersection projects. Regular resurfacing of the roadway is also necessary. Approximately 50% of the corridor within the City jurisdiction was resurfaced in 2018 (from the western city limits through the railroad crossing). The eastern 50% is in disrepair and should be resurfaced in the next 5 years. However, a portion of that resurfacing will be completed as a component of two of the intersection projects (Neese and Trickum). A significant percentage of SR 92 traffic is Through Traffic using a regional artery as it was designed. As previously stated, SR 92 from Acworth to Roswell and on to Stone Mountain (as combined with Holcomb Bridge Rd and Jimmy Carter Boulevard) serves as the only East/West through corridor north of I-285 and south of SR 20. As such, it will remain congested, and it will be heavily influenced by improvements (or lack thereof) on both I-285 and SR 20
The North Main Street corridor is one of the highest traffic volume corridors within the City street system. This is a significant commuter route for regional Through Traffic to reach I-575 at Ridgewalk Parkway. There is a solid waste transfer station within the corridor and an unusually high volume of heavy truck traffic. The City has recently enhanced this corridor by adding 7 new left turn lanes, adding one new traffic signal, and completely resurfacing the corridor during the 2018-2021 period. Another traffic signal is contemplated, although awaiting completion of major corridor study being conducted in cooperation with City of Holly Springs and Cherokee County. This type of renovation should be planned in the future in 10-year cycles to maintain this heavily traveled section. The photos below show the results of the most recent projects.




City of Woodstock – Transportation Plan

City of Woodstock – Transportation Plan
The South Main Street corridor is dominated by the intersection with SR 92, which is discussed in other sections herein. The primary design change currently planned is for the addition of the first triple left turn in the region. This is designed to reduce the extreme congestion associated with a regional commuter pattern of Through Traffic, also described herein.

This is an evening commute pattern that begins in Marietta where some commuters exit I-75 at Canton Road and travel north to SR 92, where they then proceed west to reenter the freeway at I-575 and SR 92. The large number of commuters in this pattern has caused significant backups on both Main Street and SR 92. These backups occur on every weekday of the year and have become serious sources of gridlock on Thursday and Friday evenings, when commuter traffic mixes more heavily with destination traffic.
City of Woodstock – Transportation Plan
This South Main Street corridor also includes the traffic signals and intersections at Sam’s Club and Mauldin Drive. Both intersections are subject to change as redevelopment occurs in these areas. The principal congestion through these intersections is associated with the same evening rush hour northbound flow described above. The northbound congestion at Mauldin Drive should be significantly reduced by the triple left turn project at SR 92 because there is sufficient storage for commuters to the south of Mauldin Drive. The storage for southbound traffic at Sam’s Club intersection has not been sufficient and should be replanned in the 2024 planning cycle for better alternatives.
City of Woodstock – Transportation Plan
The Towne Lake Parkway corridor is controlled by the County and is dominated by the I575 interchange. There are currently two projects designed for the Interchange, one is the larger long-range project (described in Projects section), and the other is the completed Quick Response Project (described within the Other Road Enhancements section). Interchange projects are notoriously time-consuming because of the State and Federal involvement. Therefore, the City proposed a Quick Response Project to the State at this interchange, and it was completed in 2023. This Quick Response Project was designed to alleviate the eastbound TLP congestion associated with the northbound I-575 entrance. The original interchange was constructed with an obvious emphasis on southbound I-575 traffic patterns. More recently, traffic patterns have grown for northbound traffic due to the regional growth north of Woodstock. This has created intense congestion for eastbound TLP traffic waiting to turn north onto I-575. There was existing space within TLP to establish a dual left to the northbound entrance ramp, in combination with some entrance ramp widening, that will relieve much of the congestion that backs up eastbound TLP regularly to Buckhead Crossing and sometimes to Eagle Drive or worse.


Additional improvements within this corridor will be planned by the County as necessary. The City-maintained Buckhead Crossing will be discussed within a separate corridor analysis.
City of Woodstock – Transportation Plan
The Arnold Mill Road corridor (Dobbs Road to Park Avenue segment) is currently planned to include a roundabout at both primary intersections, as outlined in the Dobbs Road at Arnold Mill Road Roundabout Project and the Neese Road at Arnold Mill Road Roundabout Project. These roundabouts are intended to serve as the new eastern gateway into the City, along with the extension of the slower, pedestrian-friendly 25mph speed zone to cover most of the City. Dupree Park is also planned to be extended all the way to Arnold Mill Road and into parcels on the north side near the intersection of Neese Road.
This corridor will also include a plan to extend sidewalks on the south side of Arnold Mill Road from the current dead end at Arnold Mill Road at Washington Avenue to the west and across Rubes Creek on both sides to future sidewalk connections.




City of Woodstock – Transportation Plan
The Neese Road corridor is planned for complete renovation from south to north that began in 2022 All four segments of the renovation plan have been included in the Projects section. They are highlighted again below (south to north).




City of Woodstock – Transportation Plan
Most of the Trickum Road corridor is controlled by the County, and the intersection with SR 92 is controlled by the State. The City coordinates with both entities to keep this vital corridor operating efficiently. The 92@Trickum Intersection Project is planned for 2026 and the Trickum@Nocatee Roundabout Project is under construction in 2025.


City of Woodstock – Transportation Plan


City of Woodstock – Transportation Plan
The Dupree Road corridor has been redeveloped over the past several years. New infrastructure – sidewalks, curbs, gutters, storm drains – have been installed to transition Dupree Road into a grid street. This will continue the pattern of nearby grid streets (Market/Reeves/Paden), all of which will eventually cross Dupree Road as the grid street pattern is extended to the south. The corridor plan includes major change at the intersection with Main Street (shown below), which also includes the plan to extend Dupree Road to the east to link to another grid street, Chambers Street. At the time of establishing the crossings of Dupree Road by Market/Reeves/Paden, these new intersections are planned to become 4-way stops or mini-roundabouts, in the similar style as the Market Street at Fowler Street intersection exists today. And a similar 25mph speed limit should be in place from the Noonday Creek bridge and everything to the east.

The Dupree Road Multi-Use Trail Project will extend the trail along the roadway all the way to the I-575 bridge, at which point a coordinated County project will continue the extension to the west to Stone Bridge Road.
City of Woodstock – Transportation Plan

City of Woodstock – Transportation Plan
The Dobbs Road corridor is a mix of corridor and grid street. It has been used as a cutthrough corridor for at least 30 years, and the corridor traffic has increased during the most recent years. Dobbs Road remains mostly a grid street with a 25mph speed limit and two all-way stops, serving residential neighborhoods. Dobbs Road has recently been upgraded from a very old substandard street, and this renovation is still under construction, one section at a time. First, the intersection of Dobbs/Main was improved by raising up the last several feet of Dobbs to create an improved line-of-sight. A trail-size sidewalk was established from Main Street past the Chattahoochee Technical College parking area to meet the planned Amphitheater Trail. Storm drains, curbs, and gutters were established from Melanie Lane most of the way to Arnold Mill Road, which simultaneously added 4’ additional width to the road. Similar improvements will occur from Melanie Lane back to Main Street, as well as planned sidewalks on both sides of the street. The intersection of AMR/Dobbs is planned to become a roundabout and the intersection of Main/Dobbs is planned to become signalized unless the next block to the north (Main/Linton) is selected for that purpose instead. Either way, this will provide relief for vehicles attempting to enter Main Street from Dobbs Road.







The Rope Mill Road corridor has been significantly renovated in 2020-2021. This included widening over 0.5 miles of roadway and parking area by 6’, substantial trail extension from Ridge Trail south to Rusk Street, including a logistically difficult portion near Angela Court that has included a park like setting, as well as an actual pocket park near Ridge Trail. The corridor enhancement also included adding a bus turn lane at the elementary school and lowering the speed limit to 25mph from Main Street to Ridge Trail. The entirety of Rope Mill Road was also resurfaced and restriped. The remaining plans call for the addition of a traffic calming median near Camillia Place, the connection of a new grid street named Brownlee Road, and adding sidewalks and lowering the speed limit along the last segment approaching the roundabout





City of Woodstock – Transportation Plan
The Ridgewalk Parkway corridor is a well-constructed four lane divided corridor. The primary changes planned for this corridor include enhancement projects on both ends that were highlighted in the major projects section. The I-575 Interchange project will provide a very substantial improvement, but it will take time. Therefore, the GDOT Quick Response Project was also planned. At the other end of the corridor, the new dual left turns were extended to the west to add approximately 200% more queuing space to accommodate PM rush hour volume.


City of Woodstock – Transportation Plan
Woodstock Parkway
The Woodstock Parkway corridor changed dramatically with the development of the outlet mall. The southern connection to Towne Lake Parkway will be enhanced as a component of the I-575 Interchange Project and the Towne Lake Widening Project. The southernmost component will also include an important trail extension described in the Pedestrian Flow Section, to connect Woodstock Parkway to downtown for pedestrians. There will also be trail extensions toward the north, plus a new Trailhead at the new Faith Church with a public parking agreement. The roadway between Towne Lake Parkway and the Mall Roundabout will be enhanced with turn lanes and curb/gutter/stormwater improvements, as necessary.
Most dramatically, a new roadway is established (herein described as Brownlee Road) that connects Woodstock Parkway to Rope Mill Road, creating a very important new east/west grid street. The entirety of Woodstock Parkway from Towne Lake Parkway to the roundabout is planned to include a trail extension and parkway style landscaping like the style established on Main Street between the roundabout and Ridgewalk parkway.

City of Woodstock – Transportation Plan


City of Woodstock – Transportation Plan
The Molly Lane corridor is sufficiently wide from SR 92 through the intersection of Long Drive. A sidewalk has been established and an elevated crosswalk was installed just south of Long Drive in 2021. Additional sidewalk, landscaping, and median projects are contemplated within this district. Roadway repairs were completed in 2022 and more extensive resurfacing should be completed within 3 years.



City of Woodstock – Transportation Plan 102
The Parkway 575 corridor was enhanced significantly in 2019-2020 with the addition of a sidewalk from the hotel district to SR 92. This also included several various driveway improvements. The plans call for a major roadway improvement that would be a joint GDOT project to install an additional southbound Parkway 575 exit lane onto Highway 92.



City of Woodstock – Transportation Plan 103
The Buckhead Crossing corridor was significantly enhanced in 2020 with the establishment of a dual left exit and a raised median restricting dangerous vehicular movements. The remainder of the roadway has sufficient width and will be scheduled for resurfacing within the next 5 years.


City of Woodstock – Transportation Plan
The Hames Road corridor is maintained by Cherokee County. The county has recently completed in 2024 an extensive Hames Road Improvement Project as described in the Major Projects section

City of Woodstock – Transportation Plan
City of Woodstock – Transportation Plan

The Transportation Plan includes the resurfacing of City streets with new asphalt and striping. The City participates in the State of Georgia Local Maintenance Improvement Grant (LMIG) program. This program divides gasoline tax receipts between the state, counties, and cities for use in road maintenance, most of which is used for resurfacing projects to keep roadways smooth and safe. The division of receipts is based upon the overall road miles and population total.
It is necessary for the LMIG funds to be augmented by additional local funds to proceed with resurfacing at the rate for each roadway over the lifespan of the asphalt. The gasoline tax receipts are not sufficient alone, but additional funding has been used from other sources. A study of the density of growth in 2020 showed a 62.53% improvement (lower cost per ERU) over the life cycle of streets when comparing the older suburban density to the newer urban density pattern of recent years. This means that the financial burden for Woodstock will be dramatically less of a financial burden than faced by traditional suburban cities.
City of Woodstock – Transportation Plan
Which roadways need resurfacing (and when) is primarily dependent on surface conditions, traffic counts, and other road usage issues. As a simplistic average, low-traffic neighborhood streets require resurfacing every 20-25 years and high-traffic corridor roads require resurfacing every 10-15 years. The decision-making process necessitates continual assessments of roadway conditions, as well as long-term planning due to the high costs associated with paving projects.
The complexity of this decision-making process for Woodstock includes the timing of past growth. The roads we have today were not constructed proportionally over time. The City has experienced phenomenal growth since the mid-1990s, but this growth has been in spurts, especially the 9-year period (1998-2007) prior to the Great Recession and the 13year period (2012-2025) since then. The pace of development within the spurts was also not evenly dispersed. This means that many roads will be due for resurfacing in the coming years and the scheduling and budgeting process will become increasingly intense.
The City instituted an automated road condition assessment system in 2019, and the streets have been assessed annually for six consecutive years. This assessment is used to prioritize the streets to be included in the planning of coming years. The 10-Year Resurfacing Plan includes two plan segments that separate Corridors and Neighborhoods. This resurfacing plan is outlined in brief detail below that summarizes the primary multiyear resurfacing plan. The plans will be re-calibrated each year based upon City Council decisions, funding alternatives, road conditions, development growth, traffic changes, and economic conditions. The strategic list below was compiled primarily by using a costeffective automated road assessment technology that began in April 2019 As of FY25, the plans within the ten-year period include:
Rope Mill Road (completed 2020 and 2021 in two segments)
Main Street from Ridgewalk to City limits (completed 2021)
Hames Road (county project completed 2024)
Neese Road (anticipated 2023 - 2026 in three segments)
Remaining sections of Arnold Mill Road, Towne Lake Parkway (completed 2023 and 2024)
Woodpark Place and Woodpark Blvd (completed 2024)
Professional Parkway (completed 2024)
Laurelwood Drive (completed 2024)
Molly Lane
Woodstock Parkway
Buckhead Crossing
Neighborhoods
Kingsgate I and II - Wellington Manor - Sherwood Forest (completed 2024)
Woodberry Court (completed 2024) - Nowlin Hall - Colony Woods - Arnold Mill Estates
Park Place Estates - Driftwood Forest - Bell Park – Woodlands – Magnolias - Whitfield
Parkview – Serenade – Weatherstone - Stonecroft - Woodstock Station
Joshua Landing - River Park - Moccasin - North Towne
Preserve at Woodlands - Regency
There are strategic issues of importance in the selection of projects as outlined above. The primary issue is whether to complete whole neighborhoods at one time or split up activity in any given year among numerous neighborhoods. The strategy as of 2025 is to resurface whole neighborhoods at a time (to the degree feasible) because:
(1) It is logistically more feasible from the standpoint of site deployment and management; and
(2) Partial completion and long delays within a neighborhood lead to more citizen dissatisfaction due to the day-to-day visibility of the issue.
City of Woodstock – Transportation Plan

City of Woodstock – Transportation Plan
City of Woodstock – Transportation Plan

Woodstock has experienced extremely rapid growth in pedestrian activity. This is mostly due to the popularity of Destination Woodstock, but it is also an outgrowth of an international trend toward live/work/play communities and a health-conscious public. The City has invested heavily in a spectacular Trail System and the trails often lead directly into shopping, entertainment, and residential districts with sidewalks and crosswalks designed to enable pedestrians.
The Long-Term Pedestrian Plan includes:
Developmental Planning – Requiring new developments to include ample sidewalks, trail connections, crosswalks, accessible ramps, pedestrian bridges, boardwalks, and other pedestrian infrastructure as feasible depending on terrain, density, and zoning requirements.
Public Planning – Continually enhance the public pedestrian infrastructure to create, extend, and refurbish plazas, sidewalks, trails, crosswalks, accessible ramps, pedestrian bridges, and boardwalks as feasible throughout the City.
City of Woodstock – Transportation Plan
The 2025 Transportation Plan includes a new emphasis on pedestrian plazas in and around entertainment and shopping districts. This includes the prominent Elm Street Pedestrian Project, shown separately.

However, the concept includes small pedestrian plazas in additional areas, including some outside the downtown district.
Within the downtown district, there are two additional plaza locations recommended as follows:
East Main Street (Hubbard to Fowler)
East Main Street (AMR to City Park entrance)
These locations (and others TBD) can create spaces for special events, art, and everyday leisure. The distribution of these plazas in various locations is intended to make best use of limited space, as well as continue the organic ambiance of the downtown district. Additional locations are most likely to be from reuse of closed road sections, as well as parking spaces that will no longer be in demand now that the parking deck is completed.
Plazas that are spread out throughout a district can be used very effectively during many special events, such as Arts & Crafts Shows, Music Festivals, Farmer’s Markets, and Scarecrow Exhibits, where the exhibitors can be spread out around the district in a way
City of Woodstock – Transportation Plan 113
that provides more intimacy for each exhibitor, while simultaneously providing additional pedestrian circulation which helps the permanent stores and restaurants get more exposure to the public. These plazas also get additional exposure during such events, thereby creating identifiable meeting places for friends and family to congregate at times other than the special events.


City of Woodstock – Transportation Plan 114

City of Woodstock – Transportation Plan
The transportation plan includes continued replacement of older and damaged sidewalks with wider, more pedestrian-friendly walkways, trail extensions (as feasible), plus continued installation of new sidewalks where they were never installed, and the continued creation of accessible ramps throughout the City.
Arnold Mill Road north side (Trail sidewalk)
Towne Lake Parkway north side (along City Center Parking)
Towne Lake Parkway north side (along retail center)
Dobbs Road south side (along Chattahoochee Tech)
Parkway 575 switching sides as necessary (entirety)
Ridge Trail extension
Olde Rope Mill Park Road east side (from auxiliary parking to park)
Rope Mill Road (from Main Street to Inwood Walk)
Main Street west side (from Walker’s Point to Roundabout)
Molly Lane
Woodstock Parkway (from Haddonstone to Towne Lake Parkway)
Main Street (from Roundabout through Adair Park)
Mill Street
Rope Mill Road (segment completions)
Current Target List of major sidewalk Gap Program extensions:
Neese Road 2025-2026
Dobbs Road (segments) 2025-2028
Towne Lake Parkway (segments) 2025
South Main Street 2022-2028
Arnold Mill Road 2023-2026
Dupree Road 2023-2028
Woodstock Parkway 2022-2028
City of Woodstock – Transportation Plan


City of Woodstock – Transportation Plan 117

City of Woodstock – Transportation Plan 118
The transportation plan includes replacement of older and damaged crosswalks with more updated crosswalks. It also includes the continued installation of new crosswalks where they were never installed, and the continued creation of accessible ramps throughout the city. The city has dramatically improved pedestrian crossings in recent years. This includes the strategic use of In-Road Illuminated Technology and Methyl Methacrylate (MMA) Paint that was originally developed for use on airport runways. This technology has been installed at three locations in 2023 and will be used extensively in future years. The transportation plan also includes elimination of mid-block crossings in the downtown area where signalized crossings are available.
Completed Signalized or Actuated Crossings since 2018:
- Across Main Street at Towne Lake Parkway (north side of intersection)
- Across Arnold Mill Road at E Main Street (east side of railroad)
- Across Arnold Mill Road at Hubbard Road
- Across Main Street at Fowler Street
- Across Arnold Mill Road at Fire Station 14
- Across Main Street at south side of Ridgewalk Parkway
- Across Rope Mill Road near Rusk Street (since relocated to the north)
- Across Main Street at Linton Street (since relocated and renovated)
- Across Rope Mill Rd at Inwood Walk
- Across Serenade Lane extension at Main
- Across Main Street at Dupree Road (west side)
- Across Main Street In-Road Illuminated near Rope Mill Road (Ipp’s)
- Across Towne Lake Pkwy In-Road Illuminated west of Main Street
- Across Main Street In-Road Illuminated at Linton Street
- Across Chambers St Raised and Actuated near Depot Square
- Across Ragsdale Road In-Road Illuminated at Persimmon Lane
Current Target List for Crossings:
- Across Main Street at Elm Street Raised and Signalized 2025
o Eliminate two mid-block crossings to the south
- Across Arnold Mill Rd at Bentley Pkwy Signalized 2025
- Across Main St In-Road Illuminated at E Main St 2026
- Across Rope Mill Road In-Road Illuminated at Main St 2026
- Across Main Street at Dupree Rd Signalized 2027
City of Woodstock – Transportation Plan


City of Woodstock – Transportation Plan


City of Woodstock – Transportation Plan


City of Woodstock – Transportation Plan 122

City of Woodstock – Transportation Plan 123
(also presented in Major
section)
All major transportation projects include an emphasis on pedestrian traffic and multimodal access. However, the eight projects listed below have predominant pedestrian focus and represent very significant contributions to the pedestrian experience.
Streetscapes V Project on Arnold Mill Road (Main Street to Bentley Parkway)
This includes redevelopment at the City Center site, undergrounding of utilities, relocation of the Trail in a way that has become a beautiful addition to the overall downtown experience.

City of Woodstock – Transportation Plan 124
This plan includes enhancing the westside pedestrian experience on Main Street from Fowler Street (where Streetscapes II was completed) to the south to the edge of South on Main near Brighton Boulevard. This will be accomplished through a series of individual projects in various segments. The differing segments are required because of the length of this stretch and the complicated actors of each. This section is extremely difficult to complete because the proximity of the railroad on the east side of the street restricts the flexibility on the west side of the street. The sections closest to the intersection with Barnesdale Terrace represent the most challenging logistical dilemmas.




City of Woodstock – Transportation Plan
This project is expected to proceed after the completion of the Hub Transformation Project. It is intended to protect and control pedestrians crossing Main Street between Towne Lake Parkway and Fowler Street, primarily to replace the mid-block crossings near Elm Street. There are currently three mid-block pedestrian crossings in this area that contribute to extreme vehicular delays and congestion during prime entertainment times for the popular downtown entertainment district. There is strong pedestrian traffic using the railroad crossing near Elm Street that is an important part of the pedestrian balance between the eastern and western business districts.
The concept of this project is to create a new pedestrian crossing of Main Street at Elm Street (just a few feet away from the existing crossing), signalize this crossing in synchronicity with the traffic signals to the north and south, discontinue three mid-block crossings in this area, convert Elm Street (Main to Wall) as pedestrian-only, discontinue vehicular turns off Main Street at Elm Street, and reduce vehicular delays caused by pedestrians. This project essentially creates the first pedestrian “corridor” in the city.




City of Woodstock – Transportation Plan 126


City of Woodstock – Transportation Plan
This project includes a 10’ Multi-Use Trail along the northern shoulder of SR 92 that connects the existing Noonday Creek Trail to the Woodpark Place Intersection. This trail provides improved pedestrian facilities for the developments on Woodpark place as well as the commercial properties along SR 92. There is robust pedestrian traffic in this area, alongside the tremendous volume of vehicular traffic. The pedestrian traffic is expected to grow substantially as the Woodpark area continues to redevelop. This project was in coordination with the Multimodal Safety & Access Grant that GDOT has approved and will fund up to 70% of the total construction cost.




City of Woodstock – Transportation Plan
This plan includes enhancing the southern side pedestrian experience on Towne Lake Parkway from Main Street to the west to the edge of the sidewalk recently completed at the Mill Street Roundabout. And one remaining trail segment will be included on the north side of Towne Lake Parkway. This will be accomplished by constructing streetscape designs in the style of the Streetscapes I – V projects, based upon the available space in each linear section
The narrowest segment is closest to Main Street, where the oldest structures are very close to the roadway, and width is limited. The elevation changes in some areas will require retaining walls and/or handrails. The engineering designs are still in progress, but the following examples are demonstrative of the style that will be used throughout this project.

City of Woodstock – Transportation Plan
This plan includes enhancing the eastern-side pedestrian experience on Main Street from Brooke Boulevard to Holly Springs, to include a pedestrian bridge over the Little River. This project will require a cooperative effort between the City of Woodstock, City of Holly Springs, Cherokee County, and USACE.

City of Woodstock – Transportation Plan
This plan includes enhancing the northern-side pedestrian experience on Dupree Road from Highland Park to the I-575 bridge, plus a small segment east of Reeves Street.


City of Woodstock – Transportation Plan
This plan includes enhancing the pedestrian experience on Dobbs Road to include segments designed to eventually complete the entirety of the roadway.


City of Woodstock – Transportation Plan
City of Woodstock – Transportation Plan

Public parking is a very significant component associated with vehicular and pedestrian traffic flows. The City Center District was faced with consistent parking dilemmas. The new parking deck has provided tremendous improvement. The transportation plan includes continued improvement projects to adapt to the changing environment.
The demand for parking is acute during special events, and challenging during warm weather weekends, but much less so during non-peak times. There is a constant trade-off between efficient utilization of public parking spaces and the peak demand for special events. Most communities attempt to build public parking infrastructure to accommodate the weekday or weekend peak demand and choose other alternatives to accommodate less frequent special events.
The parking plans are designed to accommodate overall the parking demand, while maximizing the space available in the downtown area.
City of Woodstock – Transportation Plan
The public parking available for existing weekend demand is sufficient, though not to accommodate the growth anticipated in coming years. The dilemma faced currently is that patrons are not consistently utilizing the three larger facilities (City Center Parking Deck, Chambers at City Center, and Chattahoochee Technical College). Many patrons became used to parking adjacent to their favorite establishment during the Great Recession and have not familiarized themselves with or utilized these larger alternatives. The Plan calls for popularizing and maximizing these facilities in the short run.
Additional parking facilities may be necessary in the long run The locations of such facilities will be a crucial part of the plan, as will the type of facility (surface or deck) and the size of facility (scattered or concentrated). The most realistic long-term parking plan includes the addition of multiple deck/lots, with small footprints, and spread out within multiple quadrants of the City Center District (usually in conjunction with private new development).
Such a plan allows for the addition of parking on an as-needed basis, without undue impact on the utilization of prime acreage within Destination Woodstock or the ambiance of the area. The most impactful plan is to target all four quadrants with additional parking, which began with the most acute southeast quadrant. The deck for the southeast quadrant was completed in the southeast quadrant in 2024. Additional decks and lots will be considered on an as needed basis. The second deck will most likely be in the southwest quadrant, which is also experiencing acute need.
The long-term plan also includes establishing methods to publicize the location of existing parking infrastructure and to help visitors park quickly and easily. The improved accessibility, safety, and attractiveness of parking facilities is an important component of this plan. “Smart Parking” programs will be utilized to reduce unnecessary circling and maximize the existing spaces.
City of Woodstock – Transportation Plan

The overall parking dilemma included a circling problem that detrimentally impacted the City Center (Main/TLP) intersection but was even more devasting to the Woodstock Downtown Residential Neighborhood and Chambers Street Retail District. The pattern in this area is to circle around the shops in search of on-street parking, then proceed into the neighborhood, depending on the level of congestion and desperation. The primary streets impacted were Chambers Street, East Main Street, Wheeler Street, Fowler Street, Hubbard Road, and McAffee Street. The additional traffic associated with circling for parking was adding to congestion and safety concerns on all six of those streets, plus more nearby streets.
The City Center Parking Deck was constructed as a deck with 633 parking spaces on 6 levels with three entrances on three separate levels from three separate streets. It is also designed to be wrapped by the new buildings of the City Center Development, thereby maintaining the look and feel of Downtown Woodstock while providing substantial parking availability. The volume of spaces was designed to accommodate the new activity
City of Woodstock – Transportation Plan
of City Center and the needs of the existing retail district. This will have a very positive impact on the traffic of the six streets highlighted above, as the circling volume is reduced.

It is very important to understand that most of the parking visits and vehicular miles associated with parking already exist today but are spread out over all six streets, with a great deal of unnecessary circling and confusion by visitors unfamiliar with the area.
The design of the deck with three separate entrances will allow for efficient access without unduly burdening any one entrance. The parking plan of FREE & UNLIMITED parking within the deck, but time-limited parking elsewhere, will strongly encourage the use of the deck. Most visitors come from the west on I-575 and they will be provided an easy entrance into the deck without needing to access any of the six streets. The deck will also allow for circling within the deck instead of on the six streets. The latest electronic wayfinding technology will be used to direct parkers to the deck and to the most convenient spaces.
City of Woodstock – Transportation Plan

The Parking Plan includes a managed plan that coordinates the spaces available within the deck, in surface lots, and along city streets to maximize the available parking responsibly. Parking management has been studied and discussed since 2016. The impetus for the new Managed Plan began at the request of downtown business owners looking for a way to remove long-term parkers from desirable spaces directly adjacent to businesses. Enforcing a limited time in these spaces creates turnover, frees up additional parking opportunities and reduces traffic congestion within the district due to spaces being readily available. Studies that were conducted indicated that during the business day, parkers were staying for less than 30 minutes on average, but with a portion staying for more than 9 hours. Each study has suggested that around 300 of the 2000 spaces should transition to time-limited and enforced spaces. This represents only 15% of the total spaces.
This plan is intended to make sure customers and visitors have access to convenient, short-term parking while still providing ample free, long-term options just a short walk away. The plan is intended to improve access, support local businesses, and keep downtown Woodstock vibrant and welcoming.
City of Woodstock – Transportation Plan
Other parking alternatives have been and will continue to be added for PTVs and motorcycles, as conditions demand. The first PTV/Motorcycle spaces were installed in 2019 at Elm Street Green, the Chambers at City Center, and on East Main Street. The spaces near Elm Street Green have been used very consistently. Demand is most acute in that area. Additional spaces were added in that area in early 2022. And more are planned throughout the community.

City of Woodstock – Transportation Plan 139
City of Woodstock – Transportation Plan

The City of Woodstock has established a Traffic Calming Program to analyze and facilitate physical changes within roadway right of way that are designed to enhance public safety in a consistent manner in tune with the neighborhoods and corridors of the City. The program includes a Traffic Calming Application process to coordinate requests, analyze circumstances, ensure certified engineering review, manage physical implementation, and proceed according to the ordinances, policies, and practices of the City.
This has been designed as a deliberative process because it involves conflicts between the various desires of citizens. Many participants in the application process have strong opinions about the severity of the traffic issue at hand and potential solutions. They are often unaware of different opinions and potential unintended consequences of various solutions. This process is like most other civic issues. The most vocal and active participants have strong opinions and desires for action. These most active participants generally attract other citizens with similar views and together they come to reinforce these views as the overwhelming majority opinion. Less active citizens may have opinions
City of Woodstock – Transportation Plan
in conflict, but these opinions are less likely to be known or made public until action is already taken. Unfortunately, the volume of opposing ideas and opinions is rarely understood in advance.
Traffic calming issues within neighborhoods are frequently sources of ongoing turmoil, especially when they proceed so fast that they circumvent the deliberative process. It is best to proceed slowly and to communicate widely, with a great deal of study of the facts of the case and broad consideration of the various alternatives. The history of traffic calming requests in the past has included cases where the solutions turned out to be worse than the original problem. Overuse of some traffic calming techniques can dramatically impact the overall character of a neighborhood and thereby impact the property values of every property owner.
These are communitywide impacts that require communitywide communication and consideration. There are also issues of community cohesiveness and conflict involving the original traffic issues and potential reactions to proposed solutions. There are many examples where neighborhoods with well-established cohesiveness have been disrupted by divisive conflicts over speed humps and other traffic calming solutions. It is imperative to maintain deliberative processes to minimize similar unintended consequences.
The history of traffic calming has included efforts over the past few decades to share ideas across jurisdictions and to share statistical data as feasible. However, it is important to emphasize that every community and every roadway is different. This makes the topic very complex. The Traffic Calming process within neighborhoods with HOAs proceeds as a communitywide initiative in communication with the HOA. Traffic Calming on corridors and in neighborhoods without HOAs proceed through the deliberative process with as much public involvement as feasible.
of Woodstock – Transportation Plan
This Transportation Plan includes the design of an eventual 25mph zone (or lower) within the major portions of the City Limits east of I-575, except for state highways and the commuter corridors of north Main Street, south Main Street, and Ridgewalk Parkway. The map of that zone is shown below.

The process of setting and changing speed limits is complex because it involves two separate jurisdictional authorities. The City Council sets speed limits on City Streets. The Georgia Department of Public Safety regulates the radar permit on City streets and state highways. The radar permit establishes the areas of realistic speed enforcement by the Police Department. Therefore, the two processes need to be in synchronicity to allow for effective enforcement.
City of Woodstock – Transportation Plan 143
The radar permit process is the most complex component because of the standards used to determine acceptable permitted speed limits. Most citizens are in favor of lowering speed limits on City streets for safety purposes. However, the permitting process is designed to restrict the setting of lower speed limits in favor of protecting motorists from potential speed traps. The standards used by GDOT as the primary condition to lower speed limits is that the local jurisdiction must prove that 85% of traffic is already traveling at lower speeds. This is the opposite of what most individuals imagine the process entails.
Therefore, this Transportation Plan recommends the periodic use of outside engineering firms to help gather evidence of why other factors should be in consideration for the protection of the public. This strategy was successfully used in 2019-2020, as major sections of Rope Mill Road, Arnold Mill Road, and Towne Lake Parkway were lowered to 25mph. The remainder of the mapped segment listed above should be accomplished in a similar way.
City of Woodstock – Transportation Plan
City of Woodstock – Transportation Plan

The Transportation Plan pays considerable attention to the landscaping in rights-of-way (ROW) and the overall beautification and cleanliness of the community. The rights-of-way require continual cutting and trimming during the growing season, as well as litter and critter removal year-round. These areas are also considered for additional landscaping that will add to the ambiance of the community.
The plan is to add landscaping and art each year in small, cost-effective ways that maximize the use of limited public funds. This requires a design plan that identifies the most appropriate plants and trees for the locale and the consistent use of these plants and trees (as well as planters, benches, art, lighting, and monument signage), so the public landscaping can gain greater continuity around the entire City.
The primary areas of the design include the four quadrants of entrance into downtown (Main Street North, Main Street South, Arnold Mill Road East, Towne Lake Pkwy West), as well nearby corridors of Rope Mill Road, Dobbs Road, and Dupree Road. The design is
City of Woodstock – Transportation Plan
best exemplified by the work completed to date along Main Street North near the library. There have been significant improvements between the Haney Roundabout and Ridgewalk Parkway that have resulted in a picturesque approach to downtown as travelers continue south from Ridgewalk Parkway. The plan includes establishing similar parkway-type landscaping areas everywhere there is sufficient right-of-way.

City of Woodstock – Transportation Plan 147

Another recent example includes Rope Mill Road between Inwood I and Cardinal Woods on the west side, as well as in smaller pockets within the Rope Mill Road corridor. In these locations, there were limited opportunities for landscaping, so those few opportunities were maximized by installing attractive landscaping and benches where feasible to create a parkway feel along the roadway, designed to enhance both the pedestrian and vehicular experience.
City of Woodstock – Transportation Plan


City of Woodstock – Transportation Plan
Additionally, the Transportation Plan includes an emphasis in formalizing exact plans and standards that have been established in major projects, but that can be reused in the future to establish greater consistency. This is exemplified by the care and attention used in the Arnold Mill Road – Streetscapes V Project previously highlighted. This included engineered plans for lighting, hardscapes, and landscaping, all combined with vision and precision to establish a special attractiveness and ambiance for the community.

City of Woodstock – Transportation Plan

City of Woodstock – Transportation Plan

Such continued improvements within Major Projects will help establish a “look & feel” for Woodstock that is as important as logos, street signs, and other identifying features. This plan will be coordinated with the departments responsible for planning/zoning, parks, trails, downtown coordination, and other entities intimately involved in the greenery associated with public spaces.
This emphasis is a continuation of the multi-decade Streetscapes Project where a consistent use brick colors and patterns has established a distinctive vision for the City. These styles have been used in multiple streetscapes projects over many years.
City of Woodstock – Transportation Plan

City of Woodstock – Transportation Plan


City of Woodstock – Transportation Plan

City of Woodstock – Transportation Plan

City of Woodstock – Transportation Plan

City of Woodstock – Transportation Plan 157
The Transportation Plan pays considerable attention to the signage within the public right-of-way and the markings on roads and in public parking areas. The Plan includes the intention to continue systematic standardization of signage according to the overall plan of the City. Part of this plan is to minimize the unnecessary or ineffective use of signage, and to ensure the inclusion of community-friendly messaging where feasible. The plan also calls for the creation of an inventory database of every City sign on a GIS mapping system.

City of Woodstock – Transportation Plan 158

City of Woodstock – Transportation Plan

City of Woodstock – Transportation Plan

City of Woodstock – Transportation Plan

City of Woodstock – Transportation Plan

City of Woodstock – Transportation Plan
City of Woodstock – Transportation Plan

This Transportation Plan includes preparations and clearing of roads and sidewalks during winter weather events and other natural disasters such as flooding and downed trees on public property. The plan calls for the continued improvement of this process through industry benchmarking, automated tracking of activity, and systematic process controls during emergency conditions. It also includes full participation in and support of the Incident Command process of the City.
Winter weather events occur each year without a consistent pattern. The severity of winter weather events varies widely from year to year. Therefore, the plan calls for standardized procedures for maintaining supplies, equipment, and staffing to ensure preparedness for the unusually severe winter storms that can arise with little warning. This task is more difficult because of the many false alarms of possible storms that do not impact our city dramatically. The preparations must proceed in each case as if the worst of the storm might happen. This is the only way to be ready when the worst-case storm materializes.
City of Woodstock – Transportation Plan


City of Woodstock – Transportation Plan
Severe storms, flooding, or storm pipe failures also occur throughout the year. The crew must be prepared to clear the roadway of falling trees and branches, or secure emergency replacement of storm water infrastructure while keeping traffic disruptions to a minimum.

City of Woodstock – Transportation Plan 167

City of Woodstock – Transportation Plan

City of Woodstock – Transportation Plan

City of Woodstock – Transportation Plan 170

City of Woodstock – Transportation Plan 171

City of Woodstock – Transportation Plan 172

City of Woodstock – Transportation Plan 173
City of Woodstock – Transportation Plan

Public input in traffic flow issues is very important to the long-term success of the plan. The input of the public can often uncover opportunities that are frequently identifiable only to those closest to the vehicular flow itself. The eyes of citizens that live at an intersection or drive the same corridor multiple times per day can be incredibly valuable in ways that can never be duplicated by raw statistics of traffic volumes.
However, average citizens have other daily concerns in life and rarely concentrate on specific traffic circumstances. Much of the public input is received only during times of controversial development cases. It is the intent of the City to continually improve informational access of the public and the usage of the information collected from the public. The City has conducted numerous Transportation Input meetings, including virtual meetings, and intends to continue this approach in 2025.
More importantly, communication technology now makes it possible to conduct public input on transportation projects continually, every minute of every day. The
City of Woodstock – Transportation Plan
transportation plan includes the availability of project information to citizens continually via electronic means on a geo-based mapping system so citizens can visualize the projects in the area that interests them. They can also see how some projects connect with each other. We anticipate citizens will have an opportunity to learn more about the projects, as well as the circumstances determining design options. Much of this information will help citizens provide even keener insight into the traffic issues closest to them, thus allowing for more fruitful input on a continual basis.
https://woodstockga.maps.arcgis.com/apps/Shortlist/index.html?appid=6b7a458f76f6491cbd88813ee3 685c03
The City of Woodstock welcomes public input on this plan and on any of the projects. Please forward comments, questions, or requests to requests@woodstockga.gov. The staff can also forward more details or schedule follow-up meetings to facilitate discussion.
City of Woodstock – Transportation Plan

City of Woodstock – Transportation Plan 177
181 Grid Streets Program
185 I-575 Ridgewalk Parkway Interchange
191 I-575 Towne Lake Parkway Interchange
195 Hub Transformation Project (TLP/Mill/Roundabout)
204 Arnold Mill Road – Streetscapes V Project
210 Towne Lake Parkway Widening
214 Lyndee Lane Extension I
218 Paden Street Extension I
222 SR 92 at Neese Road Intersection Improvement
229 Neese Road Southern Segment
235 Neese Road Northern Segment
239 Arnold Mill Road at Neese Road Roundabout
242 SR 92 at Trickum Road Intersection
248 SR 92 at Main Street Intersection
252 SR 92 at Springfield Dr Intersection
255 Main Street at Rope Mill Road Roundabout
258 Brownlee Road Grid Street Connection
261 Trickum Road at Nocatee Trail Roundabout
265 Haney Road Extension II
267 Dupree Road at Main Street Intersection
271 Ridgewalk Parkway Lane Extension
275 Streetscapes IV Pedestrian Plan (Main Street South)
280 Elm Street Pedestrian Plan
287 Mill Street to Wheeler Street Extension
291 Chambers Street Extension I (Wheeler to AMR)
296 Chambers Street Extension II (Fowler to Dupree)
299 Chambers Street Conversion to 2-Way (Hubbard to Fowler)
302 E Main Street Conversion to Pedestrian (Hubbard to Fowler)
305 Market Street Extension I
309 Hubbard Road Extension I
312 Streetscapes VI (Towne Lake Pkwy - Main to Mill)
316 E Main Street at Arnold Mill Road Intersection
320 Hames Road Improvements
324 SR 92 Pedestrian Improvements
329 Arnold Mill Road at Dobbs Road Roundabout
332 SR 92 @ Parkway 575 Intersection
335 Lincoln Street Extension I
338 Main Street at Bell Parkway Intersection
340 Ragsdale Road Pedestrian Crossing
343 Main Street at Barnesdale Road Intersection
346 AMR Trail Extension (Neese to FS14)
349 Arnold Mill Road (Neese to Rubes Creek)
352 Design Table
City of Woodstock – Transportation Plan

Major road enhancements – widening, roundabouts, grid streets, bypasses, traffic signals, signal coordination, parking decks, etc. – represent significant changes in the overall civic environment. These issues are pursued with continual involvement by the City Council, civic leaders, the public, and outside consultants, in addition to the administrative leadership team of the City. It is the intent of the administrative leadership team to aid in this process by providing coordination in the decision-making process and to oversee the fulfillment of the projects according to what has been approved and funded by the City Council.
The City of Woodstock does not control the Major State Corridors of Throughway and some isolated components of Local Corridors within the City. Therefore, major road enhancement ideas center around improvements of City-Center Main District and the Local Corridors that support the residential neighborhoods throughout the city. Most of these ideas and decisions involve two-lane roads with limited opportunity of width expansion. It is unrealistic to anticipate major widening of these roadways. Most of the ideas involve how to divert and reroute flows, as well as how to lessen log jams caused by left turners. This includes creating grid street designs or multiple routes that offer more alternatives for traffic patterns.
City of Woodstock – Transportation Plan
Major road enhancements also include close coordination with GDOT, Cherokee County, and nearby jurisdictions. This includes projects that might cross jurisdictional lines and/or impact multiple jurisdictions. Coordination of such projects often cross over multiple fiscal years.
The following is a summary of each Major Road Project, with conceptual design and brief descriptions:
City of Woodstock – Transportation Plan

(City-Exclusive Project)
The Grid Streets Program is a master plan to add flexibility for traffic flows. The universal design of grid streets is to dissipate traffic with multiple routes instead of concentrating traffic only on major arteries that are frequently congested and subject to gridlock. This allows citizens in local neighborhoods to avoid major corridors, and to get in and out even during the busiest times and events.
The program expanded significantly with the development of the Woodstock West by Walton Project. That project included the establishment of several new grid streets, including Market Street, Reeves Street, Paden Street, Hickory Street, and Maple Street. The development of the Market/Reeves/Paden grid streets provided new efficient north/south connections between Mill Street and Dupree Road. This also set up Dupree Road and Mill Street to become key east/west grid streets. Additional probable connections were subsequently proposed in all directions to create the overall Grid Street Map as shown below and updated annually.
City of Woodstock – Transportation Plan

City of Woodstock – Transportation Plan
Many projects listed elsewhere in this Transportation Plan are component parts of the overall grid street plan. These include, but are not limited to:
Arnold Mill Road - Streetscapes V
Lyndee Lane Extension I
Paden Street Extension I
Chambers Street Extension I
Dupree Road at Main Street Intersection Project
Mill Street to Wheeler Street Extension
Market Street Extension I
Brownlee Road Extension
A significant sectional addition was completed in 2020 with the extension of Reeves Street through the new South on Main neighborhood and connecting to Woodpark Place that already connects to Highway 92 with a traffic signal. This addition means that more than 50% of the distance of this grid street from Towne Lake Parkway to Highway 92 has now been completed and opened to the public. Importantly, the Serenade and Woodglen neighborhoods have also been connected to the Grid Streets Project by the extension of South On Main Drive from Reeves Street to the expanded Serenade/Main intersection.
An important enhancement to the Grid Streets Plan has been completed within the Hub Transformation Project by converting Mill Street back to two-way traffic. The current efficiencies of the Market/Reeves/Paden grid streets had been severely constricted by being bordered to the north by a one-way street. With Mill Street converted back to twoway, the Market/Reeves/Paden grid street pattern gains significant efficiencies and fluidity.
Other additional segments are continually being added and adjusted according to the conditions of development, venues, and traffic patterns. Two important connections are anticipated to be added in 2024 at Lyndee Lane (from Mill Roundabout northward to the existing Lyndee Lane) and at Paden Street (from the existing southern edge of Paden Street at Hickory Street southward to Goshen Lane). Although both extensions include existing segments with different street names, they help Paden Street become the first Grid Street to extend all the way from Rusk Street to Dupree Road, via the middle connection at the new roundabout.
City of Woodstock – Transportation Plan
City of Woodstock – Transportation Plan

(GDOT/City/County Project)
The I-575 Ridgewalk Parkway Interchange Project is a joint project with GDOT, Cherokee County, and the City of Woodstock. The project converts the interchange into a diverging diamond design (DDI) in a way that maximizes the limited width of the bridge, while transforming the pedestrian experience across the interchange. The predominant commuter traffic pattern will be significantly enhanced by reducing the number of traffic signals to traverse on the bridge from two to one, for most of the traffic.
City of Woodstock – Transportation Plan
I-575 Ridgewalk Parkway Interchange Project Concept

City of Woodstock – Transportation Plan
I575 Ridgewalk Parkway Interchange Project Preliminary Eastern Segment

City of Woodstock – Transportation Plan 187
I575 Ridgewalk Parkway Interchange Project Preliminary Eastern Ramps

City of Woodstock – Transportation Plan 188
I575 Ridgewalk Parkway Interchange Project Preliminary Western Ramps

City of Woodstock – Transportation Plan 189
City of Woodstock – Transportation Plan

(GDOT/County/City Project)
The I-575 Towne Lake Parkway Interchange Project is a joint project with GDOT, Cherokee County, and the City of Woodstock. The project adds a second left turn lane from eastbound Towne Lake Parkway to I-575 northbound; it adds a second right turn lane from southbound I-575 to westbound Towne Lake Parkway; it adds a third eastbound travel lane from Stone Bridge Parkway to the southbound entrance ramp; it adds a third westbound travel lane between the southbound exit ramp and the approach to Stone Bridge Parkway; it adds a second eastbound lane from the northbound exit ramp through Woodstock Parkway; and it adds a second left turn lane from Towne Lake Parkway eastbound to Woodstock Parkway northbound.
City of Woodstock – Transportation Plan 191
I-575 Towne Lake Parkway Interchange Project Preliminary Concept

I-575 Towne Lake Parkway Interchange Project Preliminary Stone Bridge Area

City of Woodstock – Transportation Plan
I-575 Towne Lake Parkway Interchange Project Preliminary Western Ramps

I-575 Towne Lake Parkway Interchange Project Preliminary Eastern Ramps

City of Woodstock – Transportation Plan 193
City of Woodstock – Transportation Plan

(City-Exclusive Project)
This is a transformative transportation project that has significantly improved traffic flow efficiency in the heart of Downtown Woodstock, as well as providing a more efficient connection to I-575. It solved the most significant deficiency at the City Center Main intersection, directly improved seven streets, and dramatically improved pedestrian mobility. All of this from minimal changes to the footprint of the Right of Way by making smarter use of the existing space. This allows continued transition to the Live/Work/Play environment while maintaining the attractive ambiance of a cohesive community. This project was completed in 2023.
City of Woodstock – Transportation Plan

City of Woodstock – Transportation Plan

The Hub Transformation Project contains three intersection projects, as well as a major renovation of Mill Street and conversion of Mill Street to two-way traffic. Some of these major components are identified in the illustrations below:
Hub Transformation New Left Turn Lane TLP at Main

City of Woodstock – Transportation Plan
Transformation Roundabout TLP at Mill

Transformation Intersection Improvement Mill at Paden

City of Woodstock – Transportation Plan


City of Woodstock – Transportation Plan


City of Woodstock – Transportation Plan 200


City of Woodstock – Transportation Plan


City of Woodstock – Transportation Plan 202
City of Woodstock – Transportation Plan

(City-Exclusive Project)
This is a series of contiguous projects that will extend to the east from Main Street. The project will transform Arnold Mill Road from Main Street east, all the way to Sandy Circle, but the segment described herein proceeded first.
It began with the section between Main Street and Bentley Parkway with a complete renovation of the roadway and streetscapes on both sides. This includes redevelopment at the City Center site, undergrounding of utilities, relocation of the Trail in a way that became a beautiful addition to the overall downtown experience. The project then significantly improved the AMR/Hubbard intersection by adding a left turn lane in all four directions, extending Hubbard Road to the north, and creating a new signal-protected entrance for the busy senior-living facility. The project will next extend on to the east with the redevelopment project from Bentley Parkway to Sandy Circle.
City of Woodstock – Transportation Plan


City of Woodstock – Transportation Plan 205
Arnold Mill Road at Hubbard Road Intersection

Arnold Mill Road Streetscapes

City of Woodstock – Transportation Plan
Arnold Mill Road at Hubbard Road Completed


City of Woodstock – Transportation Plan 207


City of Woodstock – Transportation Plan 208
City of Woodstock – Transportation Plan

(City-Exclusive Project)
This project widens and redesigns a brief section of Towne Lake Parkway between Woodstock Parkway and the TLP/Mill Roundabout. It serves to connect the western end of the Hub Transformation Project to the eastern end of the TLP Interchange Project, while anticipating redevelopment of the large tract on the northside of the roadway at this point. This project is expected to be constructed in 2025-2026.
City of Woodstock – Transportation Plan


City of Woodstock – Transportation Plan
Towne Lake Parkway Widening Eastern Side

City of Woodstock – Transportation Plan 212
City of Woodstock – Transportation Plan

(City-Exclusive Project)
The Lyndee Lane Extension I will proceed from the northern edge of the new Mill/TLP roundabout to the north to connect to the current southern dead end of Lyndee Lane. This project is scheduled to proceed immediately following the Hub Transformation Project. It is expected to be constructed in 2026. This will provide accessibility with the neighborhoods to the north, providing additional mobility flexibility. It will be a critical link in the Grid Streets Program in that Lyndee Lane lines up north/south with Paden Street and will serve as a continuation of the Paden Grid Street to north of Towne Lake Parkway, while Paden Street is simultaneously being extended to Dupree Road. These changes, both expected to be completed in 2026, will extend the Paden Street grid street all the way from Rusk Street in the north, to Dupree Road in the south, with additional extensions imminent further in both directions.
City of Woodstock – Transportation Plan 214

City of Woodstock – Transportation Plan
Construction portion of the Lyndee Lane Extension I

Close-Up of the Lyndee Lane Extension I

City of Woodstock – Transportation Plan 216
City of Woodstock – Transportation Plan

(City-Exclusive Project)
The Paden Street Extension I will proceed from the southern edge of Paden Street at Hickory Street to the south to connect to Goshen Lane at the point which Goshen Lane turns into the Joshua Landing neighborhood. This project is scheduled to proceed following the Hub Transformation Project. It is expected to be constructed in 2026. This will provide accessibility to the neighborhoods to the south, providing additional traffic flexibility.
It will be a critical link in the Grid Streets Program in that Paden Street lines up north/south with Lyndee Lane and together the Paden/Lyndee/Goshen grid street, after these two projects, will connect from Rusk Street in the north all the way to Dupree Road in the south. It will be the first north/south grid street to cross Towne Lake Parkway and Mill Street. Imminent future extensions are planned further to the north and to the south, beyond Dupree Road and Rusk Street.
City of Woodstock – Transportation Plan
Street Extension I Display

City of Woodstock – Transportation Plan
Southern end Paden Street Extension I

Northern end Paden Street Extension I

City of Woodstock – Transportation Plan
City of Woodstock – Transportation Plan

(City-GDOT Project)
The SR 92 at Neese Road Intersection Improvement was a joint project between the City and GDOT that began construction in 2022 and was completed in 2023. This is a substantial improvement to a key intersection. This project adds dual left turn lanes from east bound SR 92 onto Neese Road and dual left turn lanes from southbound Neese Road onto SR 92 eastbound. The project widens the mouth of Neese Road at the intersection from three lanes to five lanes, while also adding a second left turn lane on SR 92.
City of Woodstock – Transportation Plan
92 at Neese Road Displays


City of Woodstock – Transportation Plan 223
92 at Neese Road Overall

92 at
Road Lane Configuration

City of Woodstock – Transportation Plan
SR 92 at Neese Road Completed

City of Woodstock – Transportation Plan
City of Woodstock – Transportation Plan 226 SR 92 at Neese Road Completed

City of Woodstock – Transportation Plan 227 SR 92 at Neese Road Completed

City of Woodstock – Transportation Plan

(City Project, with County Participation)
This is an important transportation project that will significantly improve Neese Road from the edge of the Intersection Project on the previous page to the edge of the new development named Marlowe. This project is expected to be completed in 2025. This project makes more efficient use of the wider section of Neese Road to the south of Neese Farm Drive and then dramatically improves the narrow section of Neese Road to the north of Neese Farm Drive that will include sidewalks for pedestrians on the western side.
City of Woodstock – Transportation Plan
Neese Road Southern Segment Overall


City of Woodstock – Transportation Plan
Neese Road Southern Segment Connection Point

Neese Road Southern Segment End

City of Woodstock – Transportation Plan
Neese Road Southern Segment Under Construction


City of Woodstock – Transportation Plan 232


City of Woodstock – Transportation Plan 233
City of Woodstock – Transportation Plan

(City-Exclusive Project)
This is an important transportation project that will significantly improve Neese Road from the edge of the new Marlowe development northward to Arnold Mill Road. This project is expected to begin construction in 2026. The project includes a critical roundabout at the Neese/Washington/Driftwood intersection that replaces the inefficient 4-way stop. The project includes sidewalks and trail access for Dupree Park.
City of Woodstock – Transportation Plan 235
Neese Road Overall Display

Road Northern Segment Plan Title Page

City of Woodstock – Transportation Plan 236
Neese Road Northern Segment Dividing Line

Neese Road Northern Segment Roundabout Washington/Driftwood/Neese

City of Woodstock – Transportation Plan 237
City of Woodstock – Transportation Plan

(City-Exclusive Project)
This crucial project will complete the renovation of Neese Road and will serve as the primary gateway to Woodstock from the east. The roundabout will allow the elimination of a traffic signal and will keep traffic flowing in all directions. It will also keep traffic flowing slowly and will provide the northeastern edge of the ultimate 25mph pedestrianfriendly zone, including important pedestrian connections to Dupree Park. This project is expected to be completed in 2028.
City of Woodstock – Transportation Plan 239

City of Woodstock – Transportation Plan
City of Woodstock – Transportation Plan

(GDOT/County/City Project)
The SR 92 at Trickum Road Project is a joint project with GDOT, Cherokee County, and the City of Woodstock. This will be a substantial improvement to a key intersection. This project will add dual left turn lanes from westbound SR 92 onto Trickum Road and dual left turn lanes from northbound and southbound Trickum Road onto SR 92. The project widens the mouth of Trickum Road at the intersection, while also adding a Continuous T at the Trickum/Gunnin intersection. The project also adds a northbound travel lane between Sycamore Lane and SR 92; adds a southbound travel lane between SR 92 and Sycamore Lane; and adds protective medians on Trickum Road between Sycamore Lane and Gunnin Road.
City of Woodstock – Transportation Plan 242

City of Woodstock – Transportation Plan 243
SR92 at Trickum Road Intersection Primary Segment

SR92 at Trickum Road Intersection Project Sycamore Southern Segment

City of Woodstock – Transportation Plan 244
SR92 at Trickum Road Intersection Project Northern Segment

SR92 at Trickum Road Intersection Project Continuous T Segment

City of Woodstock – Transportation Plan

City of Woodstock – Transportation Plan
City of Woodstock – Transportation Plan

(GDOT-Exclusive Project)
The SR 92 at Main Street Project is a GDOT-exclusive project that is designed to relieve excessive congestion on southbound Main St turning left onto SR 92. This is an evening commute pattern that begins in Marietta where some commuters exit I-75 at Canton Road and travel north to SR 92, where they then proceed west to reenter the freeway at I-575 and SR 92. The large number of commuters in this pattern has caused significant backups on both Main Street and SR 92. These backups occur on every weekday of the year and have become serious sources of gridlock on Thursday and Friday evenings, when commuter traffic mixes more heavily with destination traffic. The improvements include a triple left turn northbound Main Street onto westbound SR 92, and improvements elsewhere east/west on SR 92.
City of Woodstock – Transportation Plan
SR92 at Main Street Intersection Project Display

City of Woodstock – Transportation Plan

City of Woodstock – Transportation Plan
City of Woodstock – Transportation Plan

(GDOT-Exclusive Project)
The SR 92 at Springfield Drive Project is a GDOT-exclusive project that is an important connection with the Main Street intersection previously described. It is designed to relieve excessive congestion on westbound SR 92, especially during PM rush hours. This project will add a third westbound travel lane before and after Springfield Drive, without having to widen the pavement. The extra travel lane will be deducted from the excess striped median.
City of Woodstock – Transportation Plan 252

City of Woodstock – Transportation Plan
City of Woodstock – Transportation Plan

(City-Exclusive Project)
This roundabout would incorporate the intersection of Main Street, Rope Mill Road, and East Main Street, as well as the railroad crossing. This project was originally proposed by Arcadis in the Downtown Traffic Study. This new roundabout is designed to coordinate the unusual current flows, plus connect to the west to a widened Kyle Street connecting the roundabout at Mill/TLP, and to the east with a proposed extension of Hubbard Road.
All these combinations would significantly expand the entire grid street program and substantially add to the accessibility of traffic throughout downtown. It would create a northern loop to/from the AMR/Hubbard intersection to the TLP Roundabout. This would facilitate a westbound PM-rush route to avoid City Center Main. More impactfully, it would facilitate a more efficient route 24 hours per day for westbound traffic turning north on Main Street to avoid City Center Main.
The initial preliminary concept is illustrated below, prior to extensive surveying and analysis necessary to determine the exact connection points and numerous alternative considerations.
City of Woodstock – Transportation Plan

City of Woodstock – Transportation Plan
City of Woodstock – Transportation Plan

(City-Exclusive Project)
This project creates a full grid street named Brownlee Road from Rope Mill Road to Woodstock Parkway and provides as important connection between those two corridors. This roadway project was constructed in 2025. This construction represents the first direct route from Rope Mill Road to Woodstock Parkway. This typifies the designs of the grid street program and will help relieve congestion along two other routes for eastbound traffic on Towne Lake Parkway to get to Woodstock Elementary School and nearby churches. This traffic typically traverses through downtown Woodstock or cuts through neighborhoods, primarily along Rusk Street.
City of Woodstock – Transportation Plan 258


City of Woodstock – Transportation Plan 259
City of Woodstock – Transportation Plan

(City/County Project)
The Trickum Road at Nocatee Trail Project will include the creation of a roundabout at this location. This intersection is hindered by very heavy traffic on Trickum Road, especially during rush hours, making it extremely difficult for left turns out of the Kingsgate II neighborhood. There are also excessively high speeds in this area, due to no impediments on Trickum Road between Ragsdale Road and Barnes Road. A traffic study established that there was a PM Peak Hour of 42 left turns occurring without the benefit of a left turn lane, therefore backing up traffic and creating safety issues.
This intersection will become even busier once Little River Park is constructed. The intersection will serve as the primary entrance to the park. The park patrons will be generating even more left turns onto Trickum Road. The roundabout concept plan solves the access issues for Kingsgate II and Little River Park, while simultaneously slowing the Trickum Road traffic down to create a more residential feel for the area, improve safety, and encourage pedestrian accessibility.
City of Woodstock – Transportation Plan


City of Woodstock – Transportation Plan 262

City of Woodstock – Transportation Plan 263
City of Woodstock – Transportation Plan

This road extension begins at the Main/Haney Roundabout by completing the fourth leg and then continues to the west through Adair Park, over the railroad, and connects to Rope Mill Road. This would provide an important connection between Main Street and Rope Mill Road, thereby facilitating significantly improved access to Woodstock Elementary School.

City of Woodstock – Transportation Plan 265
City of Woodstock – Transportation Plan

(City-Exclusive Project)
This intersection project provides a significant expansion and extension of this key entrance into downtown Woodstock. The project is very complex and is expected to be completed over multiple years beginning in 2022. The project began with establishing a signalized pedestrian crossing across Dupree Road on the western side of Main Street in early 2022. The project will later expand the width of Dupree Road to add a much-needed left turn lane on Dupree Road eastbound onto northbound Main Street. It will eventually extend Dupree Road through Main Street and across a new railroad crossing upon redevelopment anticipated east of the railroad tracks, with an accompanying new left turn lane for southbound Main Street onto eastbound Dupree Road. The project will include extensive ROW acquisition and Utility Relocation, which is also why the project will extend over multiple years and why the time horizon is more than similar sized projects.
City of Woodstock – Transportation Plan 267


Dupree Road at Main Street Intersection Northern Segment

Dupree Road at Main Street Intersection Eastern and Western Segments


City of Woodstock – Transportation Plan 269
City of Woodstock – Transportation Plan

(City-Exclusive Project)
This project extends both dual left lanes to the west to expand the storage space for these turn lanes by approximately 200%. It was not included in the original project due to the impact on the railroad gate, which would have delayed the original project significantly. This extension was completed in 2023.
City of Woodstock – Transportation Plan 271
Ridgewalk Parkway Lane Extension Display

Ridgewalk Parkway Lane Extension Completed

City of Woodstock – Transportation Plan 272

City of Woodstock – Transportation Plan 273
City of Woodstock – Transportation Plan

(City-Exclusive Project)
This plan includes enhancing the westside pedestrian experience on Main Street from Fowler Street (where Streetscapes II was completed) to the south to the edge of South on Main near Brighton Boulevard. This will be accomplished through a series of individual projects in various segments. The differing segments are required because of the length of this stretch and the complicated actors of each. This section is extremely difficult to complete because the proximity of the railroad on the east side of the street restricts the flexibility on the west side of the street. The sections closest to the intersection with Barnesdale Terrace represent the most challenging logistical dilemmas.
City of Woodstock – Transportation Plan
Streetscapes IV Project Northern Segment

Streetscapes IV Project Southern Segment

City of Woodstock – Transportation Plan 276
Streetscapes IV Project Middle Segments


Streetscapes IV Project Completed Segments

City of Woodstock – Transportation Plan
277

City of Woodstock – Transportation Plan 278
City of Woodstock – Transportation Plan

(City-Exclusive Project)
This project is expected to proceed after the completion of the Hub Transformation Project. It is intended to protect and control pedestrians crossing Main Street between Towne Lake Parkway and Fowler Street, primarily at the mid-block crossing near Elm Street. There are currently three mid-block pedestrian crossings in this area that contribute to extreme vehicular delays and congestion during prime entertainment times for the popular downtown entertainment district. There is strong pedestrian traffic using the railroad crossing near Elm Street that is an important part of the pedestrian balance between the eastern and western business districts.
The concept of this project is to create a new pedestrian crossing of Main Street at Elm Street (just a few feet away from the existing crossing), signalize this crossing in synchronicity with the traffic signals to the north and south, discontinue three mid-block crossings in this area, convert Elm Street (Main to Wall) as pedestrian-only, discontinue vehicular turns off Main Street at Elm Street, and reduce vehicular delays caused by pedestrians. Likewise, some adjustments of northbound on-street parking might also be considered in this plan.
City of Woodstock – Transportation Plan
This extensive project is divided into three segments. These three segments may proceed at different times, depending on funding and coordination with other projects. It is planned to begin with the signalized Main Street pedestrian crossing. The project segments go from east to west as follows:
1 - Main Street Signalized Pedestrian Crossing Segment
2 - Elm Street Pedestrian Promenade (Main to Wall) Segment
3 - Elm Street Multimodal Plaza (Wall to Market) Segment
City of Woodstock – Transportation Plan

Close-Up of the Signalized Crossing

City of Woodstock – Transportation Plan 282
Close-Up of ADA Ramp and Southern End

Close-Up of the Stairs and Ramp in Middle Area

City of Woodstock – Transportation Plan 283
Overview Elm Street Promenade Segment


City of Woodstock – Transportation Plan
of the Walking Section of Promenade

City of Woodstock – Transportation Plan
City of Woodstock – Transportation Plan

(City-Exclusive Project)
Mill Street was converted back to two-way traffic in 2023 at the completion of the Hub Transformation Project. The Mill Street Extension to Wheeler Street Project is proposed to proceed from the completion of the Hub Transformation Project to dramatically add accessibility to the business district in the southeast quadrant of the downtown area that will soon be joined with the new City Center Project. That SE Quadrant District has long been subject to congestive traffic due to minimal egress, as well as excessive circling for parking. This Mill Street to Wheeler Street connection will add a crucial signalized egress that will allow more district patrons to exit the area without traversing through the residential neighborhood in search of an exit. Simultaneously, the parking deck will lessen the congestion associated with circling to find parking.
City of Woodstock – Transportation Plan
Overview of the Mill Street to Wheeler Extension


City of Woodstock – Transportation Plan
Close-Up

City of Woodstock – Transportation Plan
City of Woodstock – Transportation Plan

(City-Exclusive Project)
This new section of Chambers Street is for two-way traffic and has allowed for the removal of East Main Street from AMR to Wheeler Street. This will also establish Chambers Street as a Grid Street that will eventually run all the way from Dupree Road to Arnold Mill Road. The position of this new section of Chambers Street allows it to serve all activity for the City Center Development west of the parking deck, while also serving as a more efficient entrance for the remainder of the district than was accommodated by the old East Main Street. This project was completed in 2023.
City of Woodstock – Transportation Plan
Chambers Street Extension I Display

City of Woodstock – Transportation Plan
Chambers Street Extension I Completed


City of Woodstock – Transportation Plan 293


City of Woodstock – Transportation Plan
City of Woodstock – Transportation Plan

(City-Exclusive Project)
This project is still in the initial concept but is intended to facilitate the major addition of another entrance/exit for the Chambers Street Business District and Woodstock Downtown Neighborhood. This extension of Chambers Street would progress southward to meet a new extension of Dupree Road and thus connect to the expanded Dupree/Main intersection through a new crossing of the railroad. This new Dupree connection would bring the total signalized access points in the Chambers St District to three (from only two today). A fourth access should be sufficient to facilitate efficient distribution in the overall grid street network. This would also solidify Chambers Street as an important north/south grid street from AMR to Dupree, with possible extensions further, as redevelopment occurs. The beginning of the southward extension can be seen in the design on the previous page. It would then continue to the south and connect to Dupree Road in a tentative path shown in the following design.
City of Woodstock – Transportation Plan


City of Woodstock – Transportation Plan
City of Woodstock – Transportation Plan

(City-Exclusive Project)
This project is intended to facilitate southbound traffic on East Main between Hubbard and Fowler. The previously mentioned project contemplates the elimination of East Main between Hubbard and Fowler, and this plan allows traffic to turn left onto Hubbard and then right onto Chambers Street to proceed to Fowler Street. This new traffic flow provides three benefits: (1) Allows for East Main closure between Hubbard Road and Fowler Street; (2) Allows longer storage for westbound Fowler Street waiting for traffic signal; and (3) Sets up two-way traffic to be extended southward to Dupree Road (see Chambers Street Extension II), as shown below:
City of Woodstock – Transportation Plan

City of Woodstock – Transportation Plan
City of Woodstock – Transportation Plan

(City-Exclusive Project)
This project is intended to eliminate the difficult East Main Street at Fowler Street Intersection. The current traffic pattern at the Fowler Street and East Main Street intersection is untenable at times of high traffic volume, due to the proximity of the railroad tracks. The westbound vehicles on Fowler Street and the southbound vehicles on East Main Street are frequently confused and in conflict. Both are anxious to progress through the Fowler/Main intersection and both must adhere to railroad crossing guidelines, while East Main vehicles also have a necessary stop sign. Both are unsure which vehicles might be turning right at Fowler/Main, thus eligible to cross the railroad tracks in hopes of a right-turn-on-red. And eastbound pedestrians crossing Main Street have a sidewalk that does not continue beyond East Main. This complexity is unsolvable and untenable. It is best for the overall traffic flow to discontinue this intersection entirely. The concept is to route southbound E Main traffic left onto Hubbard Road and create a pedestrian plaza out of the current E Main between Hubbard and Fowler. This project resolves the difficulty and allows for pedestrian accommodation in the new plaza. This project is outlined in the following overview concept and will be repeated for the contiguous project Chambers Street Two-Way Conversion.
City of Woodstock – Transportation Plan

City of Woodstock – Transportation Plan 303
City of Woodstock – Transportation Plan

(City-Exclusive Project)
This project extends Market Street from Chardonnay Way to Dawson Drive. This is one of many grid street extensions previously highlighted and it connects two new neighborhoods together, Adyn Park and South On Main. Both neighborhoods were designed with this connection included.
City of Woodstock – Transportation Plan

City of Woodstock – Transportation Plan

City of Woodstock – Transportation Plan 307
City of Woodstock – Transportation Plan

(City-Exclusive Project)
The Hubbard Road Extension will proceed from the northern edge of Hubbard Road at Arnold Mill Road (Amphitheater parking entrance) and extend to the north and then to the west to meet Main Street. This project was originally proposed by Arcadis in the Downtown Traffic Study. This project will begin with the northern extension of Hubbard Road into the amphitheater parking area and eventually continue extension further to the north and west to establish a new connection to Main Street.
City of Woodstock – Transportation Plan

City of Woodstock – Transportation Plan 310
City of Woodstock – Transportation Plan

(City-Exclusive Project)
This plan includes enhancing the southern side pedestrian experience on Towne Lake Parkway from Main Street to the west to the edge of the sidewalk recently completed at the Mill Street Roundabout. And one remaining trail segment will be included on the north side of Towne Lake Parkway. This will be accomplished by constructing streetscape designs in the style of the Streetscapes I – V projects, based upon the available space in each linear section.
The narrowest segment is closest to Main Street, where the oldest structures are very close to the roadway, and width is limited. The elevation changes in some areas will require retaining walls and/or handrails. The engineering designs are still in progress, but the following examples are demonstrative of the style that will be used throughout this project.
This project is expected to be constructed in 2025.
City of Woodstock – Transportation Plan
Streetscapes VI Conceptual Design


Streetscapes VI Plan & Profile

City of Woodstock – Transportation Plan 313

City of Woodstock – Transportation Plan
City of Woodstock – Transportation Plan

(City-Exclusive Project)
A combination of projects allowed for the removal of the incredibly inefficient East Main Street at Arnold Mill Road intersection in 2023. The section of East Main Street from Arnold Mill Road to Wheeler Street has been replaced by the Chambers Street extension just referenced. The section of East Main Street from Arnold Mill Road north to the first parking space at City Park allowed for that small section of East Main Street to become a pedestrian plaza with bollards that can be removed for the creation of a Special Events loading zone.
The East Main Street at Arnold Mill Road intersection was one of the most problematic in Woodstock. It was very close to the railroad crossing and to Main Street. This caused unusual congestion, as well as unsafe roadway conditions. The additional space along Arnold Mill Road allowed for the westbound stop bars to be moved west by nearly 20’, thereby allowing for additional vehicular storage length within the westbound left turn lane, and increased throughput at the intersection. It also allowed for the protected signalized pedestrian crossing to be 20’ to the west and accommodated more directly and obviously as part of the Main/TLP intersection.
City of Woodstock – Transportation Plan
E Main Street at Arnold Mill Road Intersection Crosswalk Shift

E Main Street at Arnold Mill Road Intersection Completed

City of Woodstock – Transportation Plan 317
E Main Street at Arnold Mill Road Intersection Completed

City of Woodstock – Transportation Plan 318
City of Woodstock – Transportation Plan

(County-Exclusive Project)
The Hames Road Improvement Project is a county-exclusive project that renovates the entirety of Hames Road and includes the construction of a roundabout at the most difficult intersection of Hames Road and South Jett Road. The project includes severe difficulties associated with the previous narrowness of the roadway. In similar cases of severity, the road would need to be completely closed during the project, but this project area has some neighborhoods and businesses with only one access point that must remain accessible during construction. This project was completed in 2024.
City of Woodstock – Transportation Plan
Overview of Hames Road Improvements Project

Hames Road Improvements Project at SR 92 and at Roundabout

City of Woodstock – Transportation Plan


City of Woodstock – Transportation Plan
City of Woodstock – Transportation Plan

(City/GDOT Project)
This project includes a 10’ Multi-Use Trail along the northern shoulder of SR 92 that connects the existing Noonday Creek Trail to the Woodpark Place Intersection. This trail provides improved pedestrian facilities for the developments on Woodpark place as well as the commercial properties along SR 92. There is robust pedestrian traffic in this area, alongside the tremendous volume of vehicular traffic. The pedestrian traffic is expected to grow substantially as the Woodpark area continues to redevelop. This project was in coordination with the Multimodal Safety & Access Grant that GDOT has approved and funded 70% of the total construction cost. The project was completed in 2023.
City of Woodstock – Transportation Plan 324
SR 92 Pedestrian Improvements Display

SR 92 Pedestrian Improvements Displayed from East to West in 3 Segments


City of Woodstock – Transportation Plan 325

SR 92 Pedestrian Improvements Completed

City of Woodstock – Transportation Plan 326

City of Woodstock – Transportation Plan
City of Woodstock – Transportation Plan

(City-Exclusive Project)
This intersection project plans for a roundabout to be constructed at the Dobbs/AMR intersection as part of the concept of two roundabouts along Arnold Mill Road (Neese and Dobbs) that will serve as gateways into Woodstock from the east. These roundabouts will serve to allow for continual flow of vehicular traffic, while simultaneously slowing the speeds and creating a pedestrian-friendly environment much farther to the east than has traditionally existed.
City of Woodstock – Transportation Plan

City of Woodstock – Transportation Plan
City of Woodstock – Transportation Plan

(City/GDOT Project)
This project is in the initial concept phase and is intended to facilitate the addition of a an additional exit lane from southbound Parkway 575 onto eastbound SR 92. The traffic volumes and turning counts warrant this additional lane. During most of the day, the existing lanes are full, and it is rare that the entire queue can empty during a green signal. The time given for the outbound left turn cannot be reasonably extended because of the extreme volumes on SR 92 necessitate the continued long cycle times for east/west traffic.
City of Woodstock – Transportation Plan 332

City of Woodstock – Transportation Plan 333
City of Woodstock – Transportation Plan

(City-County Project)
This project extends from the Main Street traffic signal at the new Morgan’s Ace Hardware to the existing Brooke Boulevard within JJ Biello Park. This roadway extension is a component part of the overall Lincoln Street grid street that will later be extended from Main Street to the west and over to the existing Lincoln Street. This first extension connects to Brooke Boulevard and will allow for park patrons to have access to a signalized connection to Main Street to replace the unsignalized connection that currently exists.
City of Woodstock – Transportation Plan 335

City of Woodstock – Transportation Plan
City of Woodstock – Transportation Plan

(City-Exclusive Project)
This project includes reforming the intersection of Main Street and Bell Parkway, as well as making improvements nearby within the Right of Way. The industrial park includes heavy truck traffic and Main Street has high traffic volumes. This requires special alignments for turn lanes and nearby driveways. This improvement project is awaiting recommendations from an elaborate consulting project in conjunction with Cherokee County, City of Holly Springs, and City of Canton to reform Old Highway 5 throughout this region.

City of Woodstock – Transportation Plan 338
City of Woodstock – Transportation Plan

(City-Exclusive Project)
This project established a pedestrian crossing of Ragsdale Road near Persimmon Trail. The pedestrian crossing includes in-road flashing lights and special MMA striping, plus a median safety refuge.
City of Woodstock – Transportation Plan 340


City of Woodstock – Transportation Plan
City of Woodstock – Transportation Plan

(City-Exclusive Project)
This project will include a renovation of the entire intersection, as well as nearby streetscapes. The new intersection is being designed to include a new left turn lane on Main Street, a third lane on Barnesdale Road, and a traffic signal.
City of Woodstock – Transportation Plan 343


City of Woodstock – Transportation Plan 344
City of Woodstock – Transportation Plan

(City-Exclusive Project)
This project extends the trail system from Neese Road to Fire Station 14 and is alternately known as the Neese Road Trail Connector. This new trail connection will proceed along the southern side of Arnold Mill Road and will include a crossing of Rubes Creek. It renovates this entire section of the eastern approach into the City.

City of Woodstock – Transportation Plan 346


City of Woodstock – Transportation Plan 347
City of Woodstock – Transportation Plan

(City-Exclusive Project)
This project will include a renovation of Arnold Mill Road from Washington Avenue to Rubes Creek, and it will be designed in synchronicity with the Arnold Mill Road Trail Extension previously highlighted. This sectional renovation will include a sidewalk on the northern side of Arnold Mill Road, as well as Streetscapes landscaping, hardscapes, and fencing, as necessary

City of Woodstock – Transportation Plan 349


City of Woodstock – Transportation Plan
City of Woodstock – Transportation Plan

City of Woodstock – Transportation Plan 352
The design table includes many of the concepts that are being considered for possible inclusion into the conceptual phase soon. This means they are speculative until specific engineering details have been established. They are not yet far enough along to have designs for full consideration. However, the concept is important enough to be on the design table for pre-design study and analysis.
The following projects are on the design table for probable future consideration:
City of Woodstock – Transportation Plan
(City-Exclusive Project)
From Dupree Road to Lilli Lane
From Lilli Lane to Barnesdale Terrace
From Barnesdale Terrace to existing Reeves Street near Dawson Drive
From existing Reeves Street to Mill Street
From Mill Street to Towne Lake Parkway
From Towne Lake Parkway to Kyle Street
From Kyle Street to Rusk Street
From Clay Street to Pearl Street
From existing Reeves Street near Pearl Street to new development north
(City-Exclusive Project)
From Rusk Street to Clay Street
From Clay Street to Pearl Street (extension)
From Pearl Street to new development
From new development to Rope Mill Road
From Dupree Road to Barnesdale Terrace
From Barnesdale Terrace to Chandler Street
From Chandler Street to Creekstone Ridge
From Creekstone Ridge to SR 92
(City-Exclusive Project)
From Towne Lake Parkway to Kyle Street
From Kyle Street to existing Market Street
From Towne Lake Parkway to Mill Street
From Dupree Road to Barnesdale Terrace
From Barnesdale Terrace to existing Market Street
From South on Main to Chambers Drive near Sams Club
Extension of Lincoln Street
(City-Exclusive Project)
From Reagan Street to Bell Place (extension)
From Bell Place to Main Street (railroad crossing)
From Main Street to Brooke Boulevard (separate project previously listed)
From Brooke Boulevard to Drew Cameron Court
Faith Church Road
(City-Exclusive Project)
Creation of new road from Woodstock Parkway to Rope Mill Road
Brownlee Walk
(City-Exclusive Project)
Creation of new road from new Brownlee Road to Nottingham Drive
Extension of Nottingham Drive (City-Exclusive Project)
From existing Nottingham Drive east to Paden (Lyndee) Street Extension
Extension of Short Street/Adair Walk in Multiple Locations
(City-Exclusive Project)
From existing Short Street south to Adair Walk
From existing Adair Walk to Adair Marketplace
Extension of Melanie Lane
(City-Exclusive Project)
From Linton Street to Herrington Court
Extension of Linton Court (private)
(City-Exclusive Project)
From Linton Street to Haney Road
City of Woodstock – Transportation Plan 355
Extension of Sessions Street (City-Exclusive Project)
From existing Sessions Street to Parks Circle
Extension of Bentley Parkway (City-Exclusive Project)
From Arnold Mill Road to Parks Circle
Extension of Springfield Drive (City-Exclusive Project)
From existing Springfield Drive north to Arnold Mill Road
Extension of Rokeby Drive
(City-Exclusive Project)
From existing Rokeby Drive north and east to connect to new extension of Springfield Dr
Extension of Hickory Street (City-Exclusive Project)
From Market Street to Main Street
Extension of Woodglen Drive
(City-Exclusive Project)
From existing Woodglen Drive east to Springfield Drive
Extension of Laurelwood Drive
(City-Exclusive Project)
From existing Laurelwood Drive north to Woodglen Drive
Extension of Woodpark Pl (City-Exclusive Project)
From SR 92 to Heritage Walk
City of Woodstock – Transportation Plan 356
Extension of Ravine Drive
(City-Exclusive Project)
From existing north end of Ravine Drive to Brooke Boulevard
Extension of Woodstock Parkway in Multiple Locations
(City-Exclusive Project)
From existing southern end to Dupree Road
From Dupree Road to Parkway 575
As previously highlighted in Roundabout section
City of Woodstock – Transportation Plan 357


City of Woodstock – Transportation Plan



City of Woodstock – Transportation Plan 359
This Transportation Plan is updated annually and is subject to constant revision. The plan components are not specifically certified, and future dates are necessarily speculative. More details about specific projects are available for public review upon request but are not included herein due to space and time limitations.
City of Woodstock – Transportation Plan