KOOP: Kijckerweg 125-129, De Lier

Page 1

KOOP
KIJCKERWEG 125-127-129 <PLAATSNAAM> DE LIER

Aan de Kijckerweg in De Lier komt op een uitstekende zichtlocatie een representatief bedrijfspand beschikbaar voor de verkoop Het geheel maakt deel uit van het bedrijfsverzamelgebouw en betreft in totaal ca. 683 m2 BVO kantoorruimte verdeeld over meerdere verdiepingen, ca. 242 m2 BVO bedrijfsruimte en ca. 130 m2 BVO entresolvloer en een ruim buitenterrein ten behoeve van parkeren en rangeren.

BEDRIJFSRUIMTE

De bedrijfsruimte is in totaal ca. 242 m2 BVO groot en is ingericht met een demontabele entresolvloer van ca. 130 m2 BVO De bedrijfsruimte is verder onder meer voorzien van:

• Elektrische overheaddeur;

• Led verlichting met automatische sensoren;

• Gewapende betonnen vloer;

• Maximale vloerbelasting van 1.500 kg/m2;

• Een vrije hoogte van ca 5,0 m;

• Sanitaire voorzieningen;

• Was- en kleedruimte;

• Kantineruimte voorzien van pantry;

• Verwarming d.m.v. radiatoren;

• Radio-installatie;

• Dak met lichtstraat ten behoeve van natuurlijk lichtinval;

• Krachtstroomaansluitingen;

• Camerabeveiliging;

• Alarminstallatie;

• Brandblusmiddelen.

KANTOORRUIMTE

Via een representatieve entree op de begane grond bereikt u de kantoorruimte. Het betreft ca. 280 m2 BVO kantoorruimte op de begane grond, een tussenvloer van ca. 60 m2 BVO, ca. 238 m2 BVO kantoorruimte op de eerste verdieping voorzien van kantineruimte en ca. 105 m2 BVO kantoorruimte op de tweede verdieping. De kantoorruimte beschikt onder meer over:

• Receptie / ontvangstruimte;

• Luchtbehandelingsinstallatie;

• Warmtepompinstallatie;

• Mechanische ventilatie;

• Radiatoren;

• Technische ruimte (2e etage);

• Lichtkoepels voor natuurlijk lichtinval;

• Te openen ramen;

• Gecoate vloer;

• Diverse werk- en spreekkamers;

• Brandalarm;

• Intercomsysteem;

• Kabelgoten met data- en elektra aansluitingen (glasvezelverbinding mogelijk);

• Ledverlichting;

• Patchkast (ter overname);

• Pantry met vaatwasser;

• Alarminstallatie;

• Dames- en herentoiletten;

• Archiefruimte;

• Zonwering;

• Raambekleding.

BOUWJAAR

Het complex is in 1977 gebouwd en opgeleverd.

BUITENTERREIN

Het buitenterrein is direct toegankelijk via de hoofdas en is voorzien van maar liefst 21 parkeerplaatsen voor personenauto’s Hiervan beschikken 5 parkeerplaatsen over een laadpaal t.b.v. elektrische voertuigen Het buitenterrein is ca. 1.134 m2 groot ten behoeve van parkeren en rangeren en is voorzien van klinkerbestrating.

LIGGING EN BEREIKBAARHEID

Het complex is gelegen op een strategische zichtlocatie langs de drukke doorgaande weg Burgemeester van Doornlaan. De entree van het object is bereikbaar via de Kijckerweg, grenzend aan bedrijventerrein

Westerlee te De Lier. Daarmee is het object gunstig gelegen ten opzichte van knooppunt Westerlee, ofwel de oprit van de rijksweg A20. Via de Burgemeester van Doornlaan en de Woudseweg is oprit 13 van de rijksweg

A4 binnen 10 autominuten bereikbaar. Beide rijkswegen zijn twee belangrijkste verkeerknooppunten voor de regio Westland en bieden goede verbindingen naar omliggende regio’s en steden, zoals Den Haag, Rotterdam en het havengebied.

Via het provinciale wegennetwerk, welke een impuls heeft gekregen door uitvoering van het “3-in-1 project” zijn de omliggende kernen in de regio Westland eveneens goed bereikbaar voor verkeer. De bushalte voor busverbinding 455 tussen Naaldwijk en Delft is gelegen op 5 minuten loopafstand. Tot slot is het centrum van De Lier gelegen op 4 minuten rij afstand.

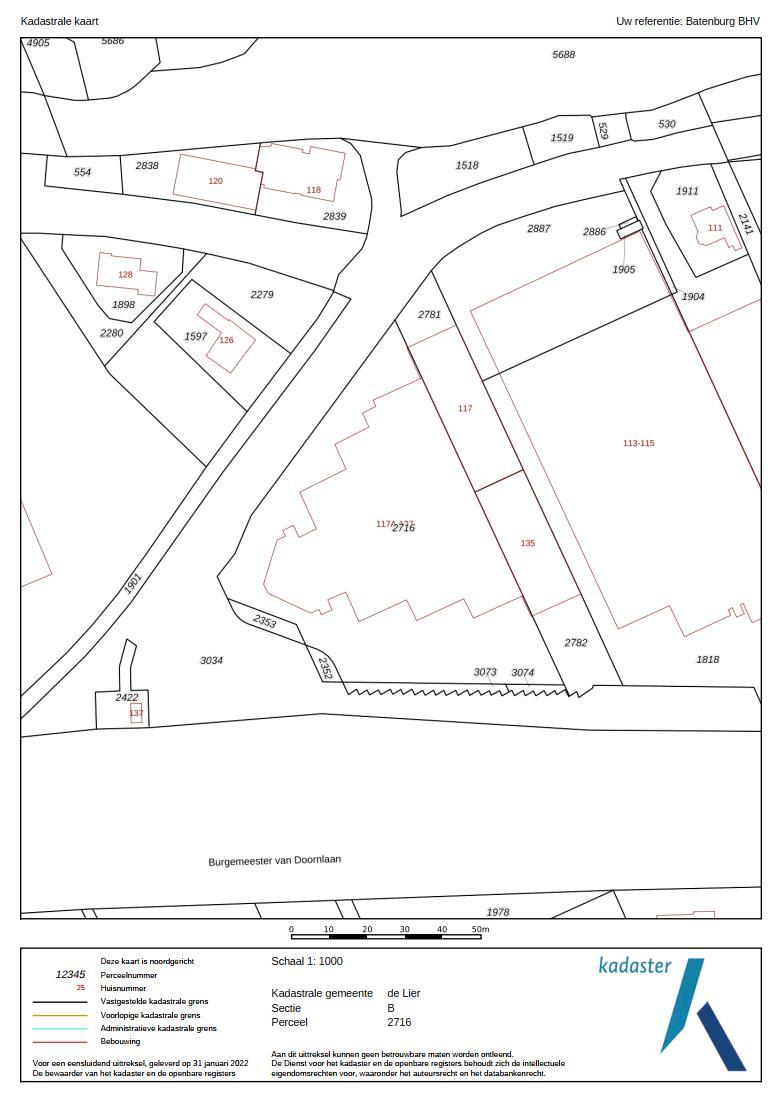
KADASTRALE GEGEVENS

Gemeente: De Lier

Sectie: B

Nummer: 3073 | 2352 | 2353

Appartementsindexen: A6 | A8 | A9

BESTEMMING

Conform vigerend bestemmingsplan ‘Bedrijventerrein De Lier’ is op de locatie bedrijvigheid tot en met categorie 3.2 toegestaan.

KOOPPRIJS

De vraagprijs van het object bedraagt € 1.095.000,- k.k. vrij van BTW.

Eventuele huurvoorwaarden zijn bespreekbaar met de eigenaar.

WAARBORGSOM/BANKGARANTIE

Een waarborgsom/bankgarantie ter grootte van 10% van de koopsom, te voldoen binnen 2 weken na verkrijgen financiering.

BESCHIKBAAR

Het object komt per 1 juli 2024 beschikbaar.

ENERGIELABEL

Het object beschikt over Energielabel A en is geldig tot en met 4 mei 2032.

VERENIGING VAN EIGENAARS

De objecten maken onderdeel uit van de ‘’Vereniging van Eigenaars Kijckerweg 117 tot en met 133 (oneven nummers) te De Lier, gemeente Westland’’. Tevens maken de objecten deel uit van ‘’Exploitatievereniging Kijckerweg’’. De jaarlijkse bijdrage bedraagt ca. € 5.000,-

COURTAGE

Indien door bemiddeling van Batenburg Bedrijfshuisvesting bij dit object een transactie tot stand wordt gebracht, dan zult u ons hiervoor geen kosten of courtage verschuldigd zijn.

VOORBEHOUD

Eventuele transacties dienen ter goedkeuring voorgelegd te worden aan opdrachtgever c.q. eigenaar van het gebouw.

ALGEMEEN

De informatie omtrent voormeld onroerend goed is met zorg samengesteld, maar voor de juistheid ervan kan door Batenburg Bedrijfshuisvesting geen aansprakelijkheid worden aanvaard, noch kan aan de vermelde gegevens enig recht worden ontleend. Nadrukkelijk is vermeld dat deze informatieverstrekking niet als een aanbieding of offerte mag worden beschouwd. Genoemde metrages in de brochure zijn gemeten conform NEN-2580 richtlijnen.

MEER INFORMATIE

Batenburg Bedrijfshuisvesting is uw bedrijfsmakelaar voor regio Westland en omstreken. Ons team is u ook graag van dienst met uw verkoop, aankoop, verhuur, aanhuur, vastgoedbelegging of vastgoedadvies.

NEEM CONTACT MET ONS OP!

Honderdland 1042, 2676 LV MAASDIJK

0174 282 555

www.batenburg-bhv.nl

info@batenburg-bhv.nl

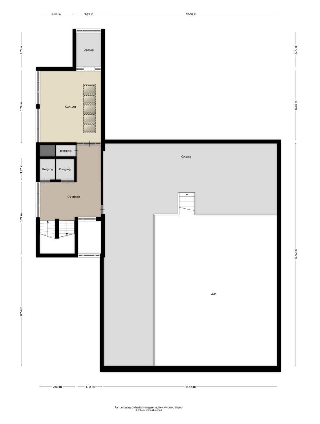
TEKENING / PLATTEGRONDEN

KADASTRALE KAART

Turn static files into dynamic content formats.

Create a flipbook
Issuu converts static files into: digital portfolios, online yearbooks, online catalogs, digital photo albums and more. Sign up and create your flipbook.