13 Sunset Crescent, Napanee - Listing Guide

Page 1


Average Transactions per REALTOR #1 Brokerage in the RE/MAX Network

1900+

REALTORS in Ontario A transaction every 21 Minutes

26

Offices in Ontario

14.6

AG Real Estate Group is part of this large brokerage that lives and operates locally. We give you major exposure from the GTA to Ottawa.

Toronto-based, but living and working locally.

Serving Prince Edward County, Belleville, Napanee and surrounding areas.

Napanee
Stirling
Belleville
Tyendinaga
Prince Edward County
Tamworth
Bloom eld
Picton
Trenton
Frankford
Roblin Newburgh
Camden East
Bath
Wooler
Consecon
Wellington

2hrs

52

5

NAPANEE

Property Information

Beds (AG+BG): 3 (2 + 1)

Baths (F+H): 2 (2 + 0)

SqFt Fin Total: 2,208

AG Fin SqFt Range: 1001 to 1500

AG Fin SF: 1,140/Plans

BG Fin SqFt: 1,068/Plans

Ownership Type: Freehold/None

Tax Amt/Yr: $3,854.65/2024

Welcome to 13 Sunset Cres., Napanee

Discover this charming brick bungalow, perfectly situated with a picturesque view of the beautiful Napanee fairgrounds. This delightful residence features 2+1 bedrooms and 1.5 bathrooms, offering ample space and comfort for you and your family. Step into the expansive eat-in kitchen, where you can create culinary masterpieces and enjoy meals with loved ones. The large patio doors invite natural light and lead to a spacious rear deck, perfect for outdoor dining and entertaining. The fully fenced yard provides a safe and private oasis for relaxation and play. For those who love to tinker or need extra space for projects, the large workshop attached to the garage is an ideal haven. Inside, the cozy recreation room boasts a gas fireplace,creating a warm and inviting atmosphere for gatherings and relaxation. 2 access points to the basement one from the garage and one in the home. Don’t miss this opportunity to own a home that combines charm,functionality, and a stunning location only a minute’s walk from the Napanee Hospital.

Additional Property Information: Property is not subject to Probate. The furnace is 1996 and was just serviced as well as fireplace was serviced as well

13SunsetCrescent,Napanee,ON

Main

Floor – 1140.80 square feet

Size and dimensions are approximate, actual my vary.

13SunsetCrescent,Napanee,ON

Basement – 1068.09 square feet

Size and dimensions are approximate, actual my vary.

Interior Specifications

Interior Feat: Ceiling Fans, Sump Pump, Water Heater

Basement: Full Basement

Basement Fin: Partially Finished

Laundry Feat: In Basement

Cooling: Central Air

Heating: Forced Air, Gas

Fireplace: 1/Family Room

FP Stove Op: Yes

Under Contract: Hot Water Heater

Inclusions: Carbon Monoxide Detector, Dishwasher, Dryer, Garage Door Opener, Refrigerator, Stove, Washer

Add Inclusions: 2 sheds

Legal Desc: LT 34 PL 405; GREATER NAPANEE

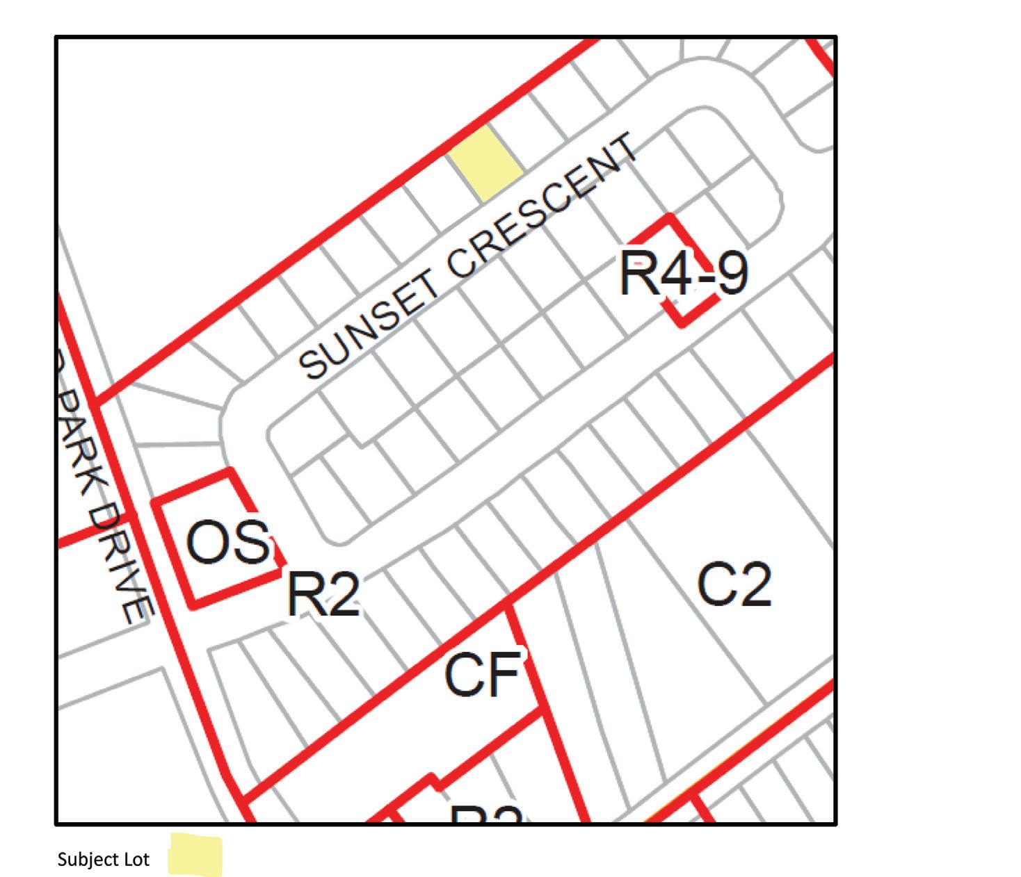
Zoning: R2

Assess Val/Year: $198,000/2023

PIN: 450840074

ROLL: 112106002031700

Living Room

Kitchen

Primary Bedroom

Bedrooms

Bathrooms

Recreation Room

Exterior Feat: Deck(s), Year Round Living

Exterior Specifications

Construct. Material: Brick Facing/Brick Veneer, Vinyl Siding

Roof: Metal

Foundation: Concrete Block

Prop Attached: Detached

Year/Desc/Source: 1963//Estimated

Apx Age: 51-99 Years

Property Access: Municipal Road, Year Round Road

Other Structures: Shed

Garage & Parking: Attached Garage//Private Drive Double Wide//Asphalt Driveway

Parking Spaces: 3

Driveway Spaces: 2.0

Garage Spaces: 1.0

Services: Cable TV Available, Cell Service, Electricity, Garbage/Sanitary Collection, High Speed

Internet Avail,Natural Gas, Recycling Pickup, Telephone Available

Water Source: Municipal-Metered

Water Treatment: None

Sewer: Sewer (Municipal)

Acres Range: < 0.5

Lot Front (Ft): 75.00

Lot Depth (Ft): 100.00

Location: Urban

Lot Shape: Rectangular

Area Influences: Golf, Highway Access, Library, Major Highway, Park, Place of Worship, Playground

Nearby, RailAccess, Schools, Trails

Topography: Flat

Restrictions: Unknown

Fronting On: North Exposure: South

School District: Limestone District School Board High School: N.D.S.S

Area Attractions

Downtown

Downtown Napanee’s beautiful historic buildings have taken on a whole new life owing to the many local businesses that reside there. The downtown is home to clothing stores, spas, restaurants, coffee shops and bakeries, as well as the bi-weekly Hometown Market! Uptown Napanee is home to many larger businesses and franchises as well as local businesses.

The downtown is convenient to Highway 401 travelers with easy access at Exits 579 and 582. For those travelling along the Loyalist Parkway, the downtown is a 15-minute drive north along County Roads 21 and 8. You’ll find lots of free parking. Boaters exploring the Bay of Quinte will enjoy the journey up the Napanee River where docking is only 2 blocks away from the downtown.

The downtown provides a welcoming atmosphere with its beautiful architecture, floral plantings, friendly merchants, scenic waterfront and small-town charm. The downtown streetscape features a charming selection of Victorian-styled buildings that date back to the late-19th century.”

Market

The Hometown Market is open all summer long! Visit the wide variety of Market Vendors offering high quality products and unique, one-of-a-kind items that are all locally grown, locally produced or locally made! Not to mention local music, Market Moolah and more! There is truly something for everyone to enjoy. The market is every other Saturday from 9am - 2pm (rain or shine) at Market Square in Downtown Napanee. Market dates for September are on the 2nd, 16th & 30th. For more information visit www.GreaterNapanee.com.

Area Attractions

Downtown

Downtown Napanee’s beautiful historic buildings have taken on a whole new life owing to the many local businesses that reside there. The downtown is home to clothing stores, spas, restaurants, coffee shops, and bakeries.

April’s Image Fashions (14 Dundas St. East)

Baker’s Baits (309 Dundas St. West)

Country Depot (76 East St.)

Deadleaf Distinguished Gentlemen (42 Dundas St. East)

Dollar Club (15 Dundas St. East)

Dress for Less (6 Mill St. East)

Gray’s IDA (18 Dundas St. West)

It’s Mostly Harmless (19 Dundas St. East)

A Kid in a Candy Shop (23 Ann St.)

Lansing Gifts & Gallery (3 Dundas St. East)

La Senda Eco Store & Naturopathic Clinic (46 Dundas St. East)

Mainstay Natural Foods/Buy the Grapevine (71 John St.)

Marie’s Place Music Emporium (62 Dundas St. West)

Explore the Waterfront!

Mayhew Jewellers (11 Dundas St. East)

McNikk’s Second Hand Store (18 Dundas St. East)

Milady’s Lace, Lingerie & Linens (9B Dundas St. East)

Napanee Blooms (20 Dundas St. East)

Napanee Buy & Sell (19 Market Square)

October’s Clothing (8 Dundas St. East)

Pet Panache (21 Dundas St. East)

Sand n’ Sea Swim & Cruise Boutique (3 Dundas St. East)

Simply Elegant Boutique (23 Dundas St. East)

Starlet (30 Dundas St. East)

Total Aquatics (7 Dundas St. West)

Touch of Class Fashion (2 Dundas St. West)

Wallace’s Drug Store (27 Dundas St. East)

The Wine Store (41 Dundas St. East)

Your Shoe Store & Repairs (11 Dundas St. West)

Whether you are planning a nice relaxing day by the water, or on the water, downtown Greater Napanee is the perfect location! Take a walk down the boardwalk from Spring Side Park to Conservation Park: Only one block away from beautiful downtown Napanee, there are many shopping and dining opportunities within walking distance for a fun filled afternoon!

Stroll along the boardwalk and enjoy the river.

Enjoy a beautiful walk and take in the sights of the Springside Parks Falls and the Napanee River. Picnic and watch wildlife alongside a fully accessible path that’ll take you all the way to Conservation Park. Watch trains pass along the trestle bridge and take in the gently cascading waterfall. You may also wish to venture north and explore the beautiful downtown to make a looping route.

The Napanee River is one of only two places in the world that experiences “seiche”, tidal changes of anywhere from 6-16 inches due to winds that blow southwest along Lake Ontario. This area also has a picnic area, skateboard park and facilities (seasonal only.)

Zoning

R2 Zoning

SECTION 5

5.13 RESIDENTIAL TYPE 2 (R2) ZONE

PROVISIONS - R2 ZONE

No person shall within any Residential Type 2 (R2) Zone use any lot or erect, alter or use any building or structure except as specified hereunder:

5.13.1 Uses Permitted

a) Residential Uses

• Single detached dwelling house;

• Existing converted dwelling house;

• Group Home;

• Special Care Facilities, excluding Corrections Residences, Detoxification Centres and Warming/Cooling Centres;

• Transitional Housing Unit;

• Home Occupation.

b) Non-Residential Uses

• Park;

(By-law No. 2016-0049)(By-law No. 2020-0016)

• Public use in accordance with the General Provisions of this By-law.

c) Accessory Uses

Uses, buildings and structures accessory to any of the permitted uses in accordance with the General Provisions of this By-law.

5.13.2 Zone Provisions

a) Lot Area (minimum) ....................................................................................... 460 square metres

b) Lot Frontage (minimum) 15 metres

c) Yards:

i) Front Yard (minimum) 6 metres

ii) Exterior Side Yard (minimum) 6 metres

iii) Interior Side Yard (minimum): 3 metres on one side, 1.2 metres on the other side, plus 0.6 metres on the narrow side for each additional or partial storey above the first, provided, that where a garage or carport is attached to or is within the main building, or the lot is a corner lot, the minimum width of the interior side yard shall be 1.2 metres plus 0.6 metres for each additional or partial storey above the first. The increased side yard requirement does not apply to an attic or loft.

iv) Rear Yard (minimum) 7.5 metres

d) Dwelling Unit Area (minimum) 90 square metres

e) Landscaped Open Space (minimum) 30 percent

Town of Greater Napanee By-Law 02-22

5.13-1

R2 Zoning

SECTION 5

PROVISIONS - R2 ZONE

f) Lot Coverage (maximum) ...........................................................................................35 percent

g) Setback from Street Centreline:

• In accordance with the General Provisions of this By-law.

h) Number of Dwelling Houses per Lot (maximum) 1

i) Height of Building (maximum) 10 metres

j) Garage or Carport:

i) Setback from Front Lot Line (minimum) 6 metres

ii) Where the garage or carport contains the opening for vehicular access from a lot line other than the front lot line, the setback shall be a minimum of 6.0 metres from the lot line that the driveway crosses to access the attached garage or carport, and

iii) The wall of the attached garage or carport facing the public street shall not be located more than 2.0 metres closer to the front lot line than the dwelling house.

5.13.3 General Provisions

In accordance with Section 4, General Provisions, of this By-law.

5.13.4 Exception Provisions - Residential Type 2 (R2) Zone

(By-law No. 03-61)

Town of Greater Napanee By-Law 02-22

5.13-2

Fireplace Service

Asbestos Testing

Making A Difference Giving Back To the Community

We believe that living and working in a community entails a responsibility to give back, which we channel into a variety of causes RE/MAX cares about, including raising more than $4 million in donations to various humanitarian, charitable and research organizations and initiatives. I personally support these local organizations.

Proud Supporter of:

Since 2014

A portion of every sale is donated to Children’s Miracle Network

Member of:
L&A 100 Women Who Care Group

Introducing Alexandra: Your Local Real Estate Expert

Alexandra has deep ties to the rural outskirts of Napanee, where she currently resides. Growing up in this serene environment, she has gained a profound understanding of rural living and cultivated strong connections within the local community. These connections extend not only to Napanee but also to Prince Edward County and the Quinte region.

Alexandra’s achievements in the real estate industry have earned her numerous prestigious awards from RE/MAX®, establishing her as a respected leader in the field.

Beyond her thriving real estate career, Alexandra cherishes her time spent with her family and two children. Her passions include gardening, golfing, and creating culinary delights in the kitchen.

As a dedicated Rotarian, Alexandra is committed to supporting her communities and the businesses that sustain them. She actively contributes by hosting monthly draws to highlight and support local businesses. Additionally, a portion of every sale she completes goes toward supporting the Children’s Miracle Network.

Alexandra prides herself on being open, honest, and transparent. If there’s anything you’d like to learn more about or discuss with her, rest assured she’ll provide you with the information you seek.

Meet Alexandra – your trusted partner in real estate.

The Town of Greater Napanee offers a number of services for its residents and visitors.

TOWN OF GREATER NAPANEE

TOWN HALL

124 John Street, P.O. Box 97, Greater Napanee, Ontario, Canada, K7R 3L4 T: 613-354-3351

LIBRARY

Library is located at 25 River Road, Napanee, ON, K7R 3S6

SCHOOL BOARDS

Algonquin & Lakeshore Catholic District School Board - 151 Dairy Ave., Napanee, 613-354-2255

Limestone District School Board220 Portsmouth Ave., Kingston, 613-544-6925

SCHOOLS

Cornerstone Christian Academy 320 Bridge St. W, 613-3542354

J.J. O’Neill Catholic School 240 Marilyn Ave., 613-354-9500

Napanee District Secondary School

245 Belleville Rd., 613-354-3381

Selby Public School1623 County Rd 41, 613-3882670

Southview Public School18 Golf Course Lane, 613-3545171

The Prince Charles Public School 75 Graham St. W., 613-3542121

SEPTIC REPAIR COMPANIES

A1 Plumbing (613) 398-0599

QLOGIC (613) 922-7474

Derek McCullough (613) 561-1452

WATER TREATMENT COMPANIES

A1 Plumbing (613) 398-0599

QLOGIC (613) 922-7474

Hitchon’s Pumps 613) 966-1471

ENGINEERING

Three Hill Engineering (613) 902-0036

JUNK REMOVAL

Dave’s Clean Up Service (613) 970-4139

RECOMMENDED CONTRACTORS

James Davis (613) 331- 2768

Marquise Construction (613) 921-9000

RECOMMENDED ELECTRICIANS Barr (613) 378-1898

S.W Reid Electric (613) 561-3302

Turn static files into dynamic content formats.

Create a flipbook
Issuu converts static files into: digital portfolios, online yearbooks, online catalogs, digital photo albums and more. Sign up and create your flipbook.