Skip to main content

Business Observer 6.21.24

Page 1

Training and teaching crane operators — during a decadeslong construction boom — has proved to be a lucrative business for an enterprising family. PAGE 10

DATA SNAPSHOT

Building Blocks

A trio of markets in the region, with Cape Coral-Fort Myers leading the way, have posted significant gains in construction employment.

PAGE 6

DEVELOPMENT

Long Ball

The Tampa Bay Rays’ quest for a new stadium picked up a big win recently with an initial approval of the project from the St. Petersburg City Council. PAGE 7

EDUCATION

Skill Set

The School District of Lee County is making big advances in a program designed to teach eight soft skills to the region’s workforce.

PAGE 9

REAL ESTATE

Land Grab

Sarasota-Bradenton International Airport CEO Rick Piccolo is appealing a federal decision to deny the airport an $11.5 million land deal it made with New College of Florida. PAGE 12

Charlotte County site sold for $17.85 million. 14 Canadian firm acquires four Tampa area apartment complexes. 14

PAGE 3

Go to BusinessObserverFL.com/big-book-of-business www.BusinessObserverFL.com DON’T WAIT, ORDER TODAY! 423425-1 BIG 2023 HOT OFF THE PRESS BOOK OF BUSINESS THE DATA THE LISTS THE CHANGE MAKERS FLORIDA’S NEWSPAPER FOR THE C-SUITE Entrepreneurs | Accidental wedding venue owner embraces new gig. PG.8 JUNE 21 - JUNE 27, 2024 | THREE DOLLARS PASCO • HILLSBOROUGH • PINELLAS • POLK • MANATEE • SARASOTA • CHARLOTTE • LEE • COLLIER Ethan and Bo Collier| CRANE TECH
DON’T MISS Bar
key lessons.
Up There
owner serves
195-acre
REAL ESTATE inside:
BY MARK
PHOTO
WEMPLE

entrepreneurs and economic, industry and government trends affecting business. The Business Observer is also the leading publisher of public notices on the Gulf Coast of Florida.

Publisher and President / Emily Walsh, EWalsh@YourObserver.com

Executive Editor and COO / Kat Wingert kwingert@BusinessObserverFL.com

Managing Editor / Mark Gordon mgordon@BusinessObserverFL.com

Deputy Managing Editor / Louis Llovio lllovio@BusinessObserverFL.com

Sarasota-Manatee Writer / Elizabeth King eking@BusinessObserverFL.com

Editorial Design /Jess Eng

Contributors / Steven Benna, Brian Hartz, Laura Lyon, Beth Luberecki, Alex Walsh

Associate Publisher / Kathleen O’Hara kohara@YourObserver.com

Associate Publisher / Diane Schaefer dschaefer@BusinessObserverFL.com

Media Advertising Executive / Maria C. Pugliese

mpugliese@businessobserverfl.com

Director of Legal Advertising / Kristen Boothroyd kboothroyd@BusinessObserverFL.com

Director of Creative Services / Caleb Stanton, cstanton@YourObserver.com

Information Technology Manager /Homer Gallego, hgallego@YourObserver.com

Chief Financial Officer / Laura Strickland lstrickland@YourObserver.com

Subscription Customer Service Team subscriptions@ BusinessObserverFL.com

Founding Editor and CEO / Matt Walsh, mwalsh@BusinessObserverFL.com

HOW TO REACH US

Charlotte County 42881 Lake Babcock Dr., #200 Babcock Ranch FL 33982

Phone: 941-906-9386 (Public Notices)

Fax: 941-954-8530

Collier County The French Quarter, 501 Goodlette Road N., #D-100 Naples, FL 34102

Phone: 941-906-9386 (Public Notices) Fax: 941-954-8530

Hillsborough County 3902 Henderson Blvd., #208 Tampa, FL 33629

Phone: 941-906-9386 (Public Notices) Fax: 941-954-8530

Lee County 18070 S. Tamiami Trail, Suite 11 Fort Myers, FL 33908

Phone: 941-906-9386; Fax: 941-954-8530

Orange County 661 Garden Commerce Pkwy, Suite 180 Winter Garden, FL 34787

Phone: 941-906-9386 (Public Notices)

Fax: 941-954-8530

Pasco County 3030 Starkey Blvd. New Port Richey, FL 34655

Phone: 941-906-9386 (Public Notices)

Fax: 941-954-8530

Pinellas County 14004 Roosevelt Blvd., #606

Clearwater, FL 33762

Phone: 941-906-9386 (Public Notices)

Fax: 727-447-3944

Polk County 1102 S. Florida Ave. Lakeland, FL 33803

Phone: 941-906-9386 (Public Notices) Fax: 941-954-8530

Manatee County 8126 Lakewood Ranch Main St., Suite 207 Lakewood Ranch, FL 34202

Phone: 941-362-4848

Phone: 941-906-9386 (Public Notices)

Fax: 941-954-8530

Sarasota County 1970 Main St., Suite 400, Sarasota, FL 34236

Phone: 941-362-4848

Phone: 941-906-9386 (Public Notices)

Fax: 941-954-8530

To send Public Notices, email to: legal@BusinessObserverFL.com. Name the county of interest in the subject line and attach notice. Deadline for public notices is noon Wednesday. For Display Advertising, call (941) 362-4848. Deadline for display advertising space is noon Friday.

HOW TO SUBSCRIBE

STATEMENT OF OWNERSHIP

PUBLIC NOTICES

POSTAL INFORMATION

Business Observer (ISSN#2325-8195) is published weekly on Fridays by the Gulf Coast Review Inc./DBA Business Observer, 1970 Main Street, Floor 3, Sarasota,

address to the

Observer, 1970 Main Street, Floor 3, Sarasota, FL 34236. For information on reprints, visit BusinessObserverFL.com

and over the desolate earth he traced in space the sign of the dollar. Ayn Rand, Atlas Shrugged

2 BUSINESS OBSERVER | JUNE 21 – JUNE 27, 2024 BusinessObserverFL.com SELLING COMMERCIAL OR INVESTMENT PROPERTY? RYAN H. STULMAN President rstulman@us1031.com Learn about 1031 exchanges VISIT OUR WEBSITE www.US1031.com Learn how a 1031 exchange may help you defer taxes, save money and maximize your investment dollars. Visit our website or call for a FREE consultation. JEFFERSON F. RIDDELL jeff@us1031.com 3400 S. Tamiami Tr. | Sarasota, FL 34239 | P: 941.366 .1300 426867-1 426865-1 Kenneth P. Saundry, Jr. brings 42 years of business and real estate management experience to each court-appointed receiver assignment. REASOFFL.COM | 239.348.1114 | ESTABLISHED SINCE 2009 6760 SABLE RIDGE LANE | NAPLES, FLORIDA | 34019 Trusted, Effective and Solution-Based Court-Appointed Receiver, Property Management and Specialty Oversight Foreclosure, or ‘Workouts’ Litigation Support • Bankruptcy • Property Oversight and Supervision • Family Disputes/ Divorces • Estates and Guardianships Subscription includes: Digital access on BusinessObserverFL.com, print newspaper mailed every Friday (optional), newspaper app — digital replica of print edition and daily newsletter of breaking business news. One-Year Periodical Rate $75 Two-Year Periodical Rate $125 Three-Year Periodical Rate $180 Single copy price: $3 Group rates for five or more corporate subscriptions are available. To subscribe online: BusinessObserverFL.com/subscribe If you have a questions about your subscription or wish to suspend your subscription temporarily, call the Customer Service team, (877) 231-8834 or by email: subscriptions@BusinessObserverFL.com
A Division of The Obser ver Media Group BusinessObserverFL.com Founded in 1997, the Business Observer is Southwest and Central Florida’s newspaper for business leaders. With editorial coverage spanning Hillsborough, Pinellas, Polk, Pasco, Manatee, Sarasota, Charlotte, Lee and Collier counties, the Business Observer is the only business newspaper that provides business leaders with a regional perspective. The Business Observer’s mission is to deliver relevant news and information on Southwest and Central Florida’s leading and growing companies, up-and-coming
“The road
cleared,”
Galt.
are going back to the world.” He raised his hand
The
FL 34236; Periodicals Postage Paid at Sarasota, FL, and at additional mailing offices. The Business Observer is circulated in Charlotte, Collier, Hillsborough, Lee, Manatee, Pasco, Pinellas, Polk and Sarasota counties. POSTMASTER: Please send changes of
is
said
“We
Business
Vol. XXVIII, No.24
The Business Observer meet the legal requirements to publish legal and public notices in Sarasota, Manatee, Lee, Collier, Charlotte, Hillsborough, Pasco, Pinellas and Polk counties, per F.S. 50.011.

leadership

matters

Bar Back

Two-plus decades running bars and nightclubs have taught Joanna Olsen a lot about resilience and persistence. ‘Never quit,’ she says, ‘just get back in there and conquer.’

Longtime Tampa Bay and Florida entrepreneur and bar owner Joanna Olsen has two remote-drop movies in her life, the flicks she will stop whatever she’s doing to watch.

Widely different in plot and tone, both films, which originated as novels — “The Godfather” and “Great Expectations” — share similar themes in Olsen’s life: tenacity, resilience, overcoming challenges big and small, unending loyalty and a relentless neversettle disposition.

Olsen is celebrating a big milestone this year as a leader and business owner: 25 years running nightclubs and bars. Her flagship spot, her baby as she calls it, is the Coyote Ugly Saloon in Ybor City in Tampa. The bar, known for its cowboy style and women bartenders with a penchant for serving

drinks while dancing on the bar, is part of the Coyote Ugly network that debuted in New York City in 1993. The popular movie “Coyote Ugly” came out seven years later, based on a magazine article written by a former bartender. (The movie isn’t based on Olsen’s life. But she shares some characteristics with the real-life tough-love, gritty bar owner and Coyote Ugly founder Liliana ‘Lil ’ Lovell, played in the movie by Maria Bello.)

After a few years of building up the Ybor location, Olsen opened Coyote Ugly saloons in Panama City, Destin and Daytona Beach. I recently spoke with Olsen for an episode of From the Corner Office, the Business Observer’s leadership podcast. We spoke about her

NOTICE OF LOCAL PUBLIC HEARING

City of Dade City, Florida to Consider the Establishment of the Summit View II Community Development District

DATE: July 9, 2024

TIME: 5:30 p.m.

LOCATION: Dade City, City Hall 38020 Meridian Avenue

Dade City, Florida 33525

In accordance with the provisions of Chapter 190, Florida Statutes, a public hearing will be held by the City Commission of Dade City, Florida, beginning at 5:30 p.m., on July 9, 2024, at the City Hall of Dade City, 38020 Meridian Avenue, Dade City, Florida 33525, to consider an ordinance granting a petition to establish a community development district which will be known as the “Summit View II Community Development District” (the “District”). The title of the proposed ordinance is as follows:

AN ORDINANCE OF THE CITY OF DADE CITY, FLORIDA, ESTABLISHING A COMMUNITY DEVELOPMENT DISTRICT TO BE KNOWN AS SUMMIT VIEW II COMMUNITY DEVELOPMENT DISTRICT LYING IN SECTIONS 29 AND 32, TOWNSHIP 24 SOUTH, RANGE 21 EAST, PASCO COUNTY, FLORIDA, PURSUANT TO CHAPTER 190, FLORIDA STATUTES; NAMING THE DISTRICT; DESCRIBING THE EXTERNAL BOUNDARIES OF THE DISTRICT; DESCRIBING THE FUNCTIONS AND POWERS OF THE DISTRICT; DESIGNATING FIVE PERSONS TO SERVE AS THE INITIAL MEMBERS OF THE DISTRICT’S BOARD OF SUPERVISORS; PROVIDING FOR A REPEALER, SEVERABILITY AND AN EFFECTIVE DATE.

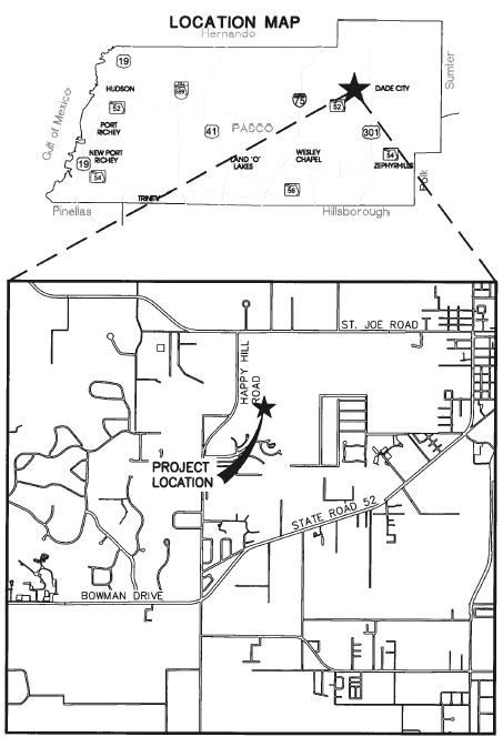
The proposed community development district is comprised of approximately 168.631 acres, more or less, generally located south of St. Joe Road, east of Happy Hill Road, and north of State Road 52, as depicted in the below location map. The Petitioner has proposed to establish the Summit View II Community Development District to plan, finance, acquire, construct, operate and maintain infrastructure and community facilities, which may be authorized by such districts under Florida law including but not limited to Chapter 190, Florida Statutes.

Copies of the petition, department reports and proposed ordinance are open to public inspection at the City Clerk’s office located at 38020 Meridian Avenue, Dade City, FL 33525.

All interested persons and affected units of general - purpose government shall be given an opportunity to appear at the hearing and present oral or written comments on the petition. Any persons or affected unit of general purpose local government, who wish to appeal any decision made by the Board with respect to any matter considered at this public hearing will need a record of the proceedings. For that purpose, the person or unit of general purpose local government may need to ensure that a verbatim record of the proceedings is made that includes the testimony and evidence upon which the appeal is to be based.

In accordance with the Americans with Disabilities Act and Florida Statutes, section 286.26, if you are a person with a disability who needs any accommodation in order to participate in this proceeding, you are entitled, at no cost to you, to the provision of certain assistance. Please contact the Dade City Clerk’s office, P.O. Box 1355, Dade City, FL 33526-1355; (352) 523-5052, at least forty-eight (48) hours prior to the hearing or meeting in order to make arrangements.

Run Dates: June 7th, June 14th, June 21st, and June 28th

Location of Summit View II CDD

3 JUNE 21 – JUNE 27, 2024 | BUSINESS OBSERVER BusinessObserverFL.com
426043-1
See COYOTE page 15
COURTESY IMAGE JOANNA OLSEN owns four Coyote Ugly Saloon locations in Florida.

TAMPA BAY-LAKELAND

Apartments

sold to investor

A 254-unit apartment community near Tampa’s Ybor City has been sold.

The property is the Lector 85 at 2409 E. Second Ave. and was bought by South Carolina-based rental housing investment firm Blaze Capital Partners.

Blaze did not disclose a sales price, and Hillsborough County property records have not been updated. The previous owner, an Indianapolis-based LLC tied to multiuse developer Milhaus, bought the property in 2017 for $3.62 million.

The community is about a mile from the heart of the Ybor City district in Tampa.

One manufacturer opens, another closes Belmar Pharma Solutions, a Colorado-based compounding pharmacy, has opened a facility in Pasco County and will add 150 jobs in the next three years.

The good news for the county was tempered by the announcement late last week that global bottler and distributor Refresco was shutting its Dade City plant and laying off 42 employees.

Belmar’s 25,000-square-foot compounding facility is in the Asturia Corporate Center. The

Even though we’re paying rent on time and sales were rocking, it was game over. And my heart was broken, not only for me but for my staff. We had worked so hard for five years.
Joanna Olsen | Coyote Ugly Saloon

company has invested $15 million in the building, where it will produce compounded medications and other products, according to a statement.

As for Refresco Beverages U.S. Inc., it is shutting down its operations in Dade City and laying off 42 workers.

Refresco notified officials last week in a letter it was shuttering its plant at 15340 and 15311 Citrus County Drive.

MANATEE-SARASOTA Report: number of visitors down

The number of visitors to Sarasota County declined in April.

According to a new report from Visit Sarasota County, there were 120,800 visitors in April, compared with 136,800 in 2023, an 11.7% drop.

Visitors were not the only metric trending down — spending and lodging data also reflected year-over-year decreases. Visitors’ direct expenditures were $174,210,500 in April compared with $177,372,100 in April 2023, the report found.

Developer buys 51 acres

Benderson Development has acquired a 51.52-acre site in Venice, where it plans to develop a mixed-use property. Benderson officials

declined to disclose financial terms of the sale.

Stephen and Michelle Hazeltine were the sellers.

North River Marketplace had been promoted by the Barclay Group, a company based in Tampa and Phoenix, as a Publix-anchored shopping center in addition to housing.

North River Marketplace will be located at the corner of East Venice Avenue and North River Road.

CHARLOTTE-LEE-COLLIER

Citrus firm signs deal with Tropicana

Fort Myers agricultural and land management company Alico Inc. has signed a new three-year deal to supply citrus fruit to its largest customer: Tropicana.

Tropicana says the agreement succeeds existing contracts set to expire at the end of July. Alico has another supply contract with Tropicana that remains in effect through the 2024-25 harvest season.

Alico Inc. primarily operates two divisions: Alico Citrus, one of the nation’s largest citrus producers, and Land Management and Other Operations, which includes land leasing and related support operations. The company posted $39.84 million in revenue in 2023.

34.7% Rise in construction employment in the Cape Coral-Fort Myers market since 2019 PAGE 6

1.4M Square feet of office and medical space at a mixeduse project planned for the new Rays stadium complex in St. Petersburg PAGE 7

31 Employees at Brandonbased training and safety firm Crane Tech PAGE 10

$49.2M

Price a Toronto investor paid for a 264-unit apartment complex in Tampa PAGE 14

1,555 acres

Size of the mixed-use Seaire community being built in north Manatee County PAGE 14 BY

4 BUSINESS OBSERVER | JUNE 21 – JUNE 27, 2024 BusinessObserverFL.com 419119-1 Thinking of selling your business? We can Help! Jim ALBERTSON 941-720-8956 JALBERTSON@GREENANDCO.BIZ 200 2ND AVE S., UNIT 441, ST PETESBURG, FL 33701 | WWW.GREENANDCO.BIZ DAMIAN KOSEMPA 941-993-2557 DKOSEMPA@GREENANDCO.BIZ
SEE
week
PAGE 15 quote of the
NUMBERS
stories from BusinessObserverFL.com
THE
top

CoffeeTalk

New gig

Former PGT Innovations CEO Jeff Jackson, some two months after the Venice window maker was acquired by a Pennsylvania company in a $3.1 billion deal, has landed a new top executive position.

Jackson was named CEO of Livonia, Michigan-based Cabinetworks Group, which bills itself as the country’s largest privately owned cabinet manufacturer, with 8,000 employees; 24 locations, including 18 manufacturing facilities; and 19 brands. Jackson succeeds John Barkhouse, who has transitioned into an advisory role and will continue helping Jackson and the company in the near term, according to a statement from the company. Beverly Hills-based Platinum Equity acquired Cabinetworks, based outside Detroit, in 2021.

“Jeff is an inspiring and accomplished leader who has substantial experience leading operations and financial strategy, developing organizational capability and improving business performance,” Platinum EquityManaging Director Christian Cook says in the release.

Jackson joined PGT Innovations, one of the leading window and door manufacturers in the country, in November 2005 as vice president and CFO. In 2006, he helped lead the company’s IPO and was later named executive vice

president before becoming president and COO in 2014. He was promoted to CEO in 2018.

Jackson says he will maintain a home in the area while also commuting during the week to both the company’s Michigan headquarters and its plants across the country.

“I’m thrilled about the opportunity to join Cabinetworks at such an important time for our company and the building products industry,” Jackson says in the release.

PGT meanwhile, was founded in 1980. Harrisburg-based window and door manufacturer Miter Brands acquired the company in March, after a process that included at least one other suitor and dated back to late 2023. Miter paid $3.1 billion for PGT, which has 2,000 employees and revenue of $1.5 billion in 2023.

Done deal

A deal announced last September in which a Michigan credit union acquired assets of a Southwest Florida market of an Iowa bank has closed.

DFCU Financial, with $6.4 billion in assets, purchased MidWestOne Bank’s Florida operations in the Naples-Marco Island MSA and the Cape Coral-Fort Myers MSA. Dearborn-based DFCU will pay a deposit premium of 7.5%, or about $11.9 million for Iowa City-based MidWestOne’s Southwest Florida market and its two branches, according to a statement. DFCU will add about $159 million in deposits and $162 million in loans in the deal.

“We are eager to introduce our extensive range of products and services to the Gulf Coast of Florida, providing enhanced convenience and expertise to our new members,” DFCU Financial President and CEO Ryan Goldberg says in a statement.

A ll former MidWestOne Bank account holders will now become members of DFCU Financial, the credit union says. This acquisition adds Lee, Collier and Charlotte counties to DF-

CU’s field of membership that already includes Hillsborough, Manatee, Pasco, Pinellas, Polk and Sarasota, which are served by six offices in Tampa and St. Petersburg.

Founded in 1950, DFCU Financial has some $870 million in net worth and more than 240,000 members.

Hancock Whitney Welcomes…

Claire Hoffman-Flores Commercial Banker

Sarasota, Fl. (May 22, 2024)—Sarasota/ Bradenton area banker Claire Hoffman-Flores has joined Hancock Whitney—one of America’s strongest, safest banks—as a Vice President, Commercial Banker.

With over 20 years of experience in financial services, Claire will help build and maintain strong, lasting relationships, discover financial needs and tailor product and service solutions to meet the overall financial needs of Hancock Whitney commercial clients with her white-glove service and consistent follow-up to customers and referral sources alike.

“We are very pleased to welcome Claire to our team. She is passionate about the local community and about building relationships through a strong personal and professional network,” said Hancock Whitney Regional President Tim Coop.

Hoffman-Flores began her banking career in 2005 with Wells Fargo Bank in Alaska prior to moving to Florida in 2017 as a Commercial Banker. Most recently, she worked as a Commercial Banker with First Citizens Bank, where she spent two years building a new

portfolio of loan and deposit clients in the Sarasota/Bradenton area. Claire is a 2005 graduate of Washington State University, earning a Microbiology B.S., and a 2013 graduate of the University of Alaska, where she earned her Master of Business Administration.

Claire is also involved in numerous community projects and local organizations. She currently serves on the finance advisory committee for the Country Club Edgewater Village Association and volunteers with organizations such as Feeding Tampa Bay and The Twig. She and her husband, Enrique, reside in Lakewood Ranch, FL with their two French Bulldogs, Bruce and Allie, and enjoy traveling or salsa dancing in their free time.

5 JUNE 21 – JUNE 27, 2024 | BUSINESS OBSERVER BusinessObserverFL.com 426839-1 1626 Ringling Boulevard, Sarasota, FL 34236 www.hancockwhitney.com
Advertise in the Lee County Bar Association’s award-winning monthly magazine, Res Gestae CALL ELISE ROSE AT 239-267-2638 RGSALES@PRIORITYMARKETING.COM LEEBAR.ORG Promote your business TO SOUTHWEST FLORIDA’S LEGAL COMMUNITY 426861-1 423916-1 941.952.1000 www.GorillaKleen.com CLEAN, MAINTAIN AND BEAUTIFY YOUR BUSINESS. COMMERCIAL PRESSURE CLEANING
FILE PHOTO JEFF JACKSON became CEO of PGT Innovations in 2018. IMAGE VIA DFCUFINANCIAL.COM DFCU Financial has made two acquisitions on the west Coast of Florida in the past year. See COFFEE TALK page 6

CoffeeTalk

FROM PAGE 5

Nominations open datasnapshot

The Business Observe r is accepting nominations for our annual 40 Under 40 issue.

40 Under 40 is one of the most well-read issues of the year. Like in past years, our goal is to find, and then honor and celebrate, the best of the best of the upand-comers. We want to discover the brightest minds, boldest executives and best entrepreneurs in the region.

T he question we hear the most with 40 under 40? What makes someone a 40 Under 40 winner?

The answer is a combination of the tangible and intangible.

A big part is demonstrable success in your field. A high level of achievement that separates you from the pack. That could be within a big or small organization, company or nonprofit. But it could also be in starting and leading your own business. People who go against the grain and take a chance on themselves to start something from nothing? That gets you to the top of our 40 under 40 candidate list.

A nother key factor we look for is hustle. People who go after it and create their own success. Also people who are risk-takers and who are willing to go against

conventional wisdom. (See above.) Finally, we seek the movers and shakers, the people who, if you are new to town, you have to meet.

Other qualifications: The issue is open to entrepreneurs, executives and professionals in any field or industry, including nonprofits, from Polk through Collier counties. The nominee must be younger than 40 up until Oct. 10, 2024. Selfnominations are OK and encouraged.

To submit a nomination go to BusinessObserverFL.com/ Submit-40-Under-40-2024.

You will be asked to include the nominee’s city, age, company and title along with your contact information and their contact information. Please be able to describe in 300 words or fewer why this nominee is a business community superstar. You also must be willing to participate in a photo and video shoot for the issue, and be willing to talk about your mentors in life and your career.

T he nomination deadline is, Aug. 2. Questions? Email Business Observer Managing Editor Mark Gordon at MGordon@BusinessObserverFL.com.

KEEP ON BUILDING

Report: Cape CoralFort Myers construction jobs up nearly 35%.

Construction employment in the Gulf Coast is booming compared with pre-pandemic levels, according to the Associated Builders and Contractors Florida Gulf Coast.

In the Cape Coral-Fort Myers area, the construction employment base is up 34.7% since 2019, ABC Florida Gulf Coast reports.

Other areas on the Gulf Coast that have added jobs at rates faster than the statewide pace include North Port-Sarasota-Bradenton, which saw a 23.8% increase in construction jobs since the start of 2019; Naples-ImmokaleeMarco Island, where construction employment was up 21% over the same period; and Tampa-St. Petersburg-Clearwater, which has experienced an 18.1% increase in construction jobs since 2019.

“The impressive growth in construction employment across Florida’s Gulf Coast region, especially in areas like Cape Coral-Fort Myers, underscores the strength and potential of our industry,”

ABC Florida Gulf Coast President/CEO Steve Cona III says in a statement.

An increase in construction

spending has driven ongoing hiring, according to a statement from ABC Florida Gulf Coast. Construction spending is up 10% over the past year nationwide, the statement says, attributing the increase to “surging manufacturingand infrastructure-related activity” as well as educational and power-related construction.

Labor costs, meanwhile, have been “tame” in the Sunshine State, the statement says.

As of April, construction workers in Florida were earning $32.19 an hour, below the national average of $37.99, according to the U.S. Bureau of Labor Statistics.

And over the past year, labor costs in Florida grew by 3.3%, compared to a 5.1% increase nationwide, officials say.

Affordable labor provides a “critical tailwind for Florida’s contractors,” amid high interest rates and rising

materials costs, ABC Florida Gulf Coast officials say.

Container freight costs are up more than 200% since mid-December, according to the Freightos Baltic Index, a worldwide container and freight rate index. And from January through April, construction input prices rose 3.5%, led by price increases for copper, energy and concrete, officials say.

As high interest rates and increasing material costs persist, officials say the continuing growth in construction employment marks a positive sign for Florida’s Gulf Coast.

“Adding jobs at such a rapid pace, even amidst rising material costs and high interest rates, highlights the resilience and dedication of our workforce,” Cona says in the statement. “This momentum is a clear indicator of the region’s bright future and the critical role it plays in driving Florida’s overall economic success.”

6 BUSINESS OBSERVER | JUNE 21 – JUNE 27, 2024 BusinessObserverFL.com NEW TO MARKET VIEW ALL OUR PROPERTIES AT LSICOMPANIES.COM FULL-SERVICE REAL ESTATE BROKERAGE • MARKET RESEARCH • LAND SERVICES • APPRAISALS LSICOMPANIES.COM | (239)489-4066 COXSTREET FORD STREET DR.MARTINLUTHER KINGJR.BLVD. LEECO COURT PINE RIDGE ROAD BAYSHORE ROAD - AADT 17,400± EXIT 143 WELLSROAD I-75 - AADT 77,000 ± BAYSHORE VILLAGE 17300 Wells Road North Fort Myers, FL 33917 8.75± Acres Zoned CPD | Resolution Z-23-034 $3,600,000 | $9.44 PSF Located along the corridor from I-75 to Babcock Ranch, with significant new residential growth, multiple under-construction and planned residential developments. Zoning allows up to 92,750 Sq. Ft. of development with a wide multitude of retail and commercial uses. HENRY LAKE WAY 15901 Henry Lake Way Fort Myers, FL 33908 5± Acres Zoned IPD $1,500,000 | $6.88 PSF Industrial and/or RV and boat storage development opportunity located off Pine Ridge Road. One of the last remaining industrial development opportunities in the Summerlin corridor, with easy access to the barrier islands, Cape Coral, US-41, and greater Fort Myers. 17570 SAN CARLOS 17570 San Carlos Boulevard Fort Myers, FL 33931 2.30± Acres Zoned CPD $1,000,000 | $10.00 PSF A 2.30± acre parcel, located on the highly trafficked thoroughfare that connects Lee County to Fort Myers Beach. The property is currently zoned CPD, with the present permitted use allowing for a parking lot with 122 spaces. SANCARLOSBLVD.-AADT22,000± 78 MLK BLVD LAND 3171 Dr. Martin Luther King Jr. Blvd. Fort Myers, FL 33916 1.1± Acres Zoned CI $850,000 | $17.75 PSF Located on Dr. Martin Luther King Jr. Blvd, this property within the CRA District makes for a great opportunity to take advantage of development/ redevelopment incentives. Commercial Intensive zoning permits approximately 60 different uses. 420725-1
EMPLOYMENT
CONSTRUCTION
GROWTH SINCE JANUARY 2019
SOURCE:ABC FLORIDA GULF COAST

infocus | development |

City vote on Rays stadium, development a ‘regulatory’ but hopeful step

After years of fighting to get a new stadium built in the city, or elsewhere, a recent St. Pete City Council vote is a positive, though tentative, step forward for the team and its fans.

BOTTOM LINE

KEY TAKEAWAY: The St. Petersburg City Council has moved ahead on a massive redevelopment proposal that includes a new baseball stadium for the Tampa Bay Rays.

CORE CHALLENGE: The project is costly and intricate.

WHAT’S NEXT: A final vote is scheduled for July 11. Other entities, including Pinellas County and Major League Baseball, will also have a say on the project.

The St. Petersburg City Council voted June 13 to take initial, tentative steps toward moving forward with a plan to build a new stadium for the Tampa Bay Rays and a massive multiuse development to be built around it. At an afternoon meeting not far from where the team was about to take on the Chicago Cubs, council members voted on a development agreement for the new ballpark and the redevelopment of the Historic Gas Plant District, as well as to change the zoning on seven publicly owned lots.

The measures were approved 5-3, with council members

Richie Floyd, John Muhammad and Lisset Hanewicz opposing.

These measures themselves, which are intricate pieces of a much larger puzzle, were the first readings and are now scheduled for a final vote July 11. Several other agreements and details needed to make the plan work will be taken up at that meeting as well.

Even then, Pinellas County and Major League Baseball still have a say.

“There is no final determination that you are making this evening,” Derek Kilborn, manager for the city’s urban planning and historic preservation division, told council members before beginning a presentation.

“I think that’s an important distinction to make so that it is understood by both this counsel and anybody who’s following along. This is just a necessary regulatory step on a timeline that includes many different moving parts. And this allows the conversation to continue so that you can continue working on the overarching umbrella agreement, which

Tampa Bay Rays fans head to Game One of the American League Divisional Series on Oct. 7, 2021, against the Boston Red Sox. The Rays won the game 5-0.

is being handled separately.”

Still, for anyone who has been following the saga of the Rays’ struggle to build a new stadium — to play in St. Pete and elsewhere after its lease expires at Tropicana Field in 2027 — the votes provided hope that despite some community opposition, the complicated nature of the development and the money involved, the team

will remain in the city for the long run.

What the Rays are proposing is a massive eight millionsquare-foot multiuse development that would deliver more than 5,400 residential units; 1,250 workforce and attainable housing units; 1.4 million square feet of office and medical space; 750,000 square feet of retail space; 750 hotel rooms;

and 14 acres of parks and open space. This, along with the Woodson African American Museum of Florida and an amphitheater.

The cornerstone would be a new $1.3 billion stadium for the Rays that would be built with about $600 million in funds from the city and Pinellas County and at least that much from the team. The team will be responsible for all cost overruns.

The acreage for the ballpark and two parking garages will be owned by the county, which would lease it to the city. The city would then sublease it to the Rays for 30 years, with an option to extend that for 40 years.

The Rays unveiled the plans for the new stadium and development in September, about nine months after Mayor Ken Welch chose the team and its development partner Hines to lead the redevelopment of the 86-acre Tropicana Field site.

The team, at the time of the announcement, said it had come to terms with Welch’s office but that many of the details of the agreement would need to be approved by the council.

7 JUNE 21 – JUNE 27, 2024 | BUSINESS OBSERVER BusinessObserverFL.com 419135-1
FILE IMAGE

In Knots

What started as a pandemic fill-in has become a thriving business for Toni Miller and her family.

When Toni Miller relocated from Toronto to an 18acre estate in Seffner with her husband and mother in 2019, she never could’ve predicted the global pandemic to come. On a more personal note, she never could’ve predicted she’d be living at a wedding venue as a result.

A n ative of Barbados, Miller originally moved to Tampa to attend USF before eventually graduating from the University of Tampa with a degree in communications and marketing. Her advertising career led her northward, but she eventually tired of the cold weather (“Growing up in Barbados, I really was not into the Toronto winters,” she laughs.) So she decided to move back to the area and purchased the land that would eventually become Mill Pond Estates, about 15 miles outside Tampa — where she made a personal sanctuary out of her new acreage with her and her husband residing in one house on the property and her mother in another. Miller and her family paid a little less than $500,000

BOTTOM LINE

KEY TAKEAWAY. Entrepreneur Toni Miller has made a career change over the past five years, from advertising to owning and running an 18-acre wedding venue.

CORE CHALLENGE. Keeping up with trends in the wedding industry and staying on top of sustainability practices.

WHAT’S NEXT. The wedding industry continues to bounce back from pandemic sag, and some couples remain committed to the price tag for the big day

for the property in 2019.

A few weeks after lockdown began in March 2020, Miller noted a couple slowly driving past the property. They eventually stopped and told her their wedding had just been canceled and could they please use her open field for a quick ceremony with social distancing? Miller obliged. “And then from there, it just kept going, like more people would drive past and say, ‘Oh my gosh, can we do something here?’” Miller says.

Mill Pond Estates was formally

incorporated in November 2020, and their first “official” wedding was hosted Dec. 4, 2021. Since then, 85 weddings have taken place on the property, and she’s expanded their team to add a venue manager and two landscapers. Couples have their choice of four different settings: a lily pond, a sprawling oak tree, a carriage and the garden. Business at the estate is keeping pace with national trends. Marriages in the United States dipped from 2.6 million in 2019 to 1.6 million in 2020, according to data from the National Center for Health Statistics. But unions have since climbed yearover-year, reaching two million in 2022. Similarly, Mill Pond Estates doubled the number of weddings it handled from 2023 to 2024, with a 40% increase in revenue. (Miller says annual revenue is now in the low to mid six figures.) According to a wedding survey by popular wedding website the Knot in 2023, the average cost of a wedding in the Tampa Bay area is $30,000, slightly below the national average of $35,000.

Although inflation seems to have left no industry untouched, many are still opting to spring for their special day. “Some

I just want to make sure as I’m developing (the estate), I am conscious of protecting the environment, working with the environment and not doing anything to disturb all the natural wildlife and everything that we have on these 18 acres.
Toni Miller | Mill Pond Estates

“It kind of just morphed into me not wanting to stay still, always having to try something new.” What started as a passion project garden eventually became four raised beds with zinnias, sunflowers and cosmos.

A core challenge of operating an all outdoor wedding venue in Florida is mosquitos. Miller works with a local company, Mosquito Authority, for a pesticide-free solution to manage mosquito population control as part of her sustainability solutions.

people will never be impacted,” Miller says, adding that there will always be a “segment of society that will not always feel it as much.” As for couples who are more budget conscious, “They are looking at value and asking a lot more questions” about what all is included. The Miller family responded by adding a micro wedding space and an hourly event package for those looking to stretch their dollar.

Although the “big day” is all about the couple, Miller’s personal touches are woven throughout.

One of her core values is practicing sustainability. “I just want to make sure as I’m developing (the estate), I am conscious of protecting the environment, working with the environment and not doing anything to disturb all the natural wildlife and everything that we have on these 18 acres,” she says. Her practices include working with local farmers and vendors so the catering leaves a smaller carbon footprint, coordinating with local beekeepers to make sure her projects don’t dissuade bee visitors and environs and offering brides the option to have a bouquet made from her garden. Her interest in floral design was born out of impatience, she says. While waiting for permits to come through, she thought, “‘I’m going to grow a garden.’

And through that, I kind of started picking my own flowers, growing my own flowers and then arranging them from my home.”

As brides began asking for flower recommendations, she offered to grow them herself with an emphasis on “Florida friendly florals,” and she began taking classes on floral design.

T he family’s dedication to the land also includes animal care. Miller Pond Estates is home to 40 chickens, 14 dogs, five cats, five horses, two permanent cows, a host of rotational grazing cows from other farms and a 176-pound Sulcata Tortoise named Tank. With a life expectancy of up to 120 years and at just 18 years old, “He will outlive us all,” Miller says.

C ouples can opt to include the animals as part of their day or not, since they are kept on different parts of the property. Miller encourages couples to bring their own pets and even offers pet-sitting services during the wedding day.

A nother personal tenant of Miller’s is inclusivity. She became Equally Wed Pro certified to “make sure we were being sensitive to people with different sexual orientations,” she says. This includes making some changes in terminology like deferring to the “wedding party” instead of “bridal party” or “the getting ready suite” instead of the “bride or groom suite.” “We want everyone to feel accepted,” Miller states.

So far, couples seem to respond well to the level of care Miller has put into taking care of the people, animals and land on the estate. Couples are asking what they can do to reduce waste as part of their big day, and she is ready with guidance and education.

“The wedding industry can be very wasteful. So I’m always trying to figure out ways of reducing that and making the industry as a whole a little bit more planet-friendly.”

8 BUSINESS OBSERVER | JUNE 21 – JUNE 27, 2024 BusinessObserverFL.com
infocus | entrepreneurs |
MARK WEMPLE TONI MILLER has gone from working in the ad industry in Canada to running an 18-acre wedding venue outside Tampa.

infocus | education |

Up and Up

BOTTOM LINE

KEY TAKEAWAY. The School District of Lee County, through its Upskill Village, is delivering a curriculum of eight soft skill classes to adults and teens over 16. Some federal funding supports the program.

CORE CHALLENGE. Awareness of the classes and offerings.

WHAT’S NEXT. More classes are coming up in the fall.

Soft skills, like critical thinking, communication and problem-solving, are needed in every career. But they often aren’t taught the way technical, industry-specific skills are.

The School District of Lee County is working to change that with its Upskill Village micro-credentialing program offered through the district’s Adult & Career Education Department. Through the free program, Lee County residents can earn a micro-credential and digital badge in eight soft skills: oral communication, empathy, critical thinking, resilience, intercultural fluency, collaboration, creative problem-solving and initiative.

The courses are offered online and in-person and can be taken by Lee County residents ages 16 and older. Funding for the program came from a grant received by the Lee County Economic Development Office from the American Rescue Plan Act’s Coronavirus State and Local Fiscal Recovery Fund.

“We’re trying to make Lee County residents more employable by giving them skills that set them apart or make them more job-ready and qualified to enter the workforce,” says Marliss Brockington, an adult education teacher on assignment and the program coordinator for The School District of Lee County. “But these skills are not just for people who are entering the workforce; they’re also for people who have been in the

New program from The School District of Lee County helps local residents brush up on all-important soft skills.

workforce and want to improve their interpersonal skills.

“Everyone who takes these classes walks away with so much knowledge about themselves and how to deal with people,” she continues. “They’re really fantastic classes, and there’s a huge need for them.”

Vania Garcia, a learning resource specialist in the ESE department at The School District of Lee County and an instructor in the Upskill Village program, has taught oral communication, empathy, collaboration and creative problem-solving classes for the program and has seen students of various ages and from all walks of life. Light-bulb moments are common during classes.

“I do not believe many people think they truly need this until they’re in the class and go, ‘Oh, I actually don’t know how to do that’ or ‘It’s really hard for me to share an office space with people I don’t know how

to communicate with,’” says Garcia.

Students also learn how these skills are useful both at work and at home. “We’re actually in a world where we are building relationships everywhere we go,” says Garcia. “A very aha moment where you could see it click for them was when they started going, ‘Oh yeah, I do that with my spouse’ or ‘Yes, I have that kind of relationship with my family members.’”

Local employers helped the school district shape the program’s curriculum, and the classes can also be offered as on-site training programs tailored to a particular company’s or organization’s needs. “We can cater it to any employer looking to offer these skills to build better employees,” says Brockington. “If you want to improve your business, don’t overlook the importance of soft skills. They’re crucial.”

Angela Hemstreet, director of employment services at Goodwill Industries of Southwest

MARLISS BROCKINGTON, a program coordinator for The School District of Lee County, says skills taught at Upskills Village are both for people entering the workforce and “people who have been in the workforce and want to improve their interpersonal skills.”

Florida, understands that importance. While staff members at the organization are passionate about what they do, speaking about it in public doesn’t always come naturally. That’s why Goodwill staffers received oral communication training through the Upskill Village program this past December.

“I wanted the oral communication training for them to help them prepare to overcome that fear of public speaking,” she says.

Hemstreet saw employees work through their discomfort during the course’s interactive exercises. “They made a big difference, because they had to practice right there and were thinking on their feet,” she says.

“I feel like I watched them get more comfortable as they were forced to practice.”

Her goal for employees? To be able to speak about the organization and what they do there when attending chamber events or interacting with community partners. Several

employees came to her after the training to say that it had helped them do just that.

“Not every single person came and told me that, but those who were very nervous before, now came back and said they were better prepared,” says Hemstreet. “For me, that was the evidence I needed.”

Goodwill Industries of Southwest Florida has already scheduled a second Upskill Village training course on intercultural fluency in September. “Soft skills are so important, because most of us are dealing with people, not machines,” says Hemstreet.

A nd no matter where you are in your career, brushing up on these skills is never a bad idea. “There is always a gain in learning,” says Garcia. “It’s a way to get out of your comfort zone, and that is something that we need to strive toward, getting out of our comfort zone and finding maybe what we are lacking.”

9 JUNE 21 – JUNE 27, 2024 | BUSINESS OBSERVER BusinessObserverFL.com Gain a clearer view Managing Editor, Business Observer Mark Gordon Hosted by FROM THE CORNER OFFICE Podcast Scan for the latest or check out past episodes: BusinessObserverFL.com/podcasts From the Corner Office. Get an inside look at what goes on in the heads and offices of some of the region’s most visionary business leaders. Catch the Business Observer weekly podcast, “From the Corner Office.” LISTEN NOW! 424471-1
CONTRIBUTOR
|
COURTESY IMAGE

‘Kinder, Gentler’

The boom in construction over the past several decades has led to a boom in cranes operating across Florida. That, in turn, has boosted a company dedicated to training people how to use cranes safely.

When the Occupational Safety and Health Act was enacted in 1971, Charlie “Doc” Collier was working as a safety engineer and bridge builder. As time went on, he noticed people in the industry were having a hard time interpreting and applying the new regulations, his son Bo recalls.

BOTTOM LINE

KEY TAKEAWAY. Brandon-based Crane Tech essentially created a niche industry of crane training and safety some 50 years ago.

CORE CHALLENGE. Utilizing more next-generation digital technology for internal operations at the family run business.

WHAT’S NEXT. Vice President Ethan Collier is one of several third-generation leaders with an elevated role in the business.

So Doc — he earned his nickname due to his knowledge of cranes — went the entrepreneurial route: In 1977, he founded a company, Crane Tech, that helps tower crane operators, mobile crane operators, forklift drivers, bucket truck drivers and many others understand workforce safety. The company’s website touts, “Doc was a people person and a driven man who believed in his vision; that all men and women can put in a good day’s work and return safely to their family at the end of each day.”

He ran the company until he died in 1990, when Bo, who joined the crew in 1978, took over the day-to-day operations of the Brandon-based firm as president.

Now, the company is in its third generation of leadership — and is showing no signs of slowing down. “Crane Tech is a member of the family,” says Lou Collier, CFO and administrative generalist who came on board in 1990. (Lou is Bo’s wife.)

Today, Crane Tech has 31 employees, a 20,000-square-foot under-roof training facility, a classroom for 30 and instructors who traverse the country to do on-site client training. The Colliers declined to disclose revenue, but anywhere from 5,000 to 7,000 students keep them busy each year. While class fees vary, open enrollment starts at $595.

Of the types of clients they serve, many are in government, industrial and construction sectors, with about half being in manufacturing. Bo and Lou maintain their roles, while their son, Ethan, took over daily operations three years ago.

T he work of preparing op -

erators to work in the field and training instructors carries life-or-death importance. “Safety is a much bigger topic than it used to be,” Bo says, “But a lot of our clients are organizations that just can’t afford to drop things.”

I n Understanding the Current State of Safety Hazards in the Crane Industry, a report published this year by the National Safety Council and the National Commission for the Certification of Crane Officers Foundation, various operators

surveyed across the country responded that the top three hazardous situations they’re likely to encounter on the job involve loading and unloading (89%), vehicle pedestrian interactions (64%) and working at height (55%).

T he U.S. Bureau of Statistics began tracking fatal work injuries in 1992. Crane-related fatalities are down from an average of 78 deaths per year in 1992 to 42 deaths per year in 2017. Although OSHA doesn’t track crane-specific worker deaths

year-over-year, worker deaths in general have declined from 38 per day in 1970 to 15 per day in 2022. Part of Crane Tech’s key training elements involve recognition of site hazards and technical knowledge of regulatory requirements that are poised to prevent injuries and fatalities on the job.

NOT ALWAYS EASY

Multiple generations of people trying to run a family and a company are bound to experience tension points. “We do

10 BUSINESS OBSERVER | JUNE 21 – JUNE 27, 2024 BusinessObserverFL.com
MARK WEMPLE BO and ETHAN COLLIER oversee Brandon-based Crane Tech.

argue, but we thrash it out and figure it out,” says Lou, “We all want the same thing. You know, we have different ideas about how to achieve what we want to achieve with a company and we’re all hard headed. And sometimes it gets a little loud. And then we settle down and work it out and move forward.”

In a conversation with the Colliers, Ethan described a dinner with his brother, Alex,

who also works for Crane Tech, supporting the sales team and curriculum refinement. “Alex and I sat there and talked work most of the time,” Ethan recalled, “But it’s not a chore at all. Every conversation is ‘How do we continue to grow? How do we improve? How do we make this situation better?’ We know that at the root of all those conversations is us as a company succeeding.” Keeping the company going

remains the top priority for the Colliers, and that involves keeping tabs on external issues in addition to the internal. At one point, Crane Tech’s biggest client was the U.S. Navy, and one day, the military decided to take all of its training in-house. The Colliers shifted by diversifying the type of training they offer.

W hen people think of cranes, “They think of construction. They think of new high rises,

they think of all those things. But cranes are everywhere. You will have to move things everywhere in every industry,”

Lou says.

O ne unexpected use of cranes? Manatees at ZooTampa at Lowry Park. “They needed to learn how to run a crane to move their manatees,” Bo says. Other notable moments have included lifting the jawbone of a blue whale for the Smithsonian and training Georgia Pacific employees to use cranes to lift all the toilet paper they produced for the shortage during COVID.

CONFIDENCE IS HIGH

Bo is in the process of handing the business baton off to Ethan. Of his son’s leadership, he says, “Ethan is doing a fantastic job of doing day-to-day, running day-to-day. He’s a kinder, gentler soul. You know, I was drafted into the Army, and so my take sometimes on getting the job done is a little different than his, but we manage to coexist pretty well. As I transition away from the company, I tell him all the time, I have so much confidence.”

Ethan’s goals for the future of Crane Tech are digitally savvy. He’s currently developing a digital portal for the ‘Train the Trainer’ program. “I didn’t reinvent the wheel,” he says, “I just made it shinier.”

He also has hopes of keeping Crane Tech in the family. Siblings Alex and Anna have roles at the company and there are half-a-dozen grandchildren that could potentially take the helm down the road. He stresses that it’s about picking the

CARE PLAN

In addition to managing students, clients, and interpersonal relationships, the employees are part of the heartbeat at Brandonbased Crane Tech.

Dan Calabro, for instance, is a 40-year veteran of the crane industry who decided that, after years of showing the younger guys the ropes, he might try his hand at formal instruction. He came on board with Crane Tech four years ago. About two years into his tenure with the company, he received a diagnosis of tongue cancer. “They supported me 100% throughout the whole process (with) no pressure whatsoever,” says Calabro. After seven months of treatment, including two with a tracheotomy and three with a feeding tube, he was able to come back to the classroom in a limited capacity. He assisted other instructors until he was back to feeling 100%. “I couldn’t ask for a company to treat me better during that crisis for me.”

next right one, whether that’s one of his children or a niece or nephew. “I heard the phrase many years ago … ‘Whatever is best for Crane Tech is going to happen to Crane Tech.’ So, whatever will sustain us and we think at the time is the right decision.”

11 JUNE 21 – JUNE 27, 2024 | BUSINESS OBSERVER BusinessObserverFL.com 1801 N East Ave 113,465 SF Showroom/Office/Office/Warehouse w/ 3 Phase, New Parking Lot, Fresh Paint, New Overhead Doors. Add’l upgrades planned. FOR LEASE $19/SF NNN FORLEASE 2310 Whitfield Park Ave 16,000 SF Manufacturing/Production Facility with 3 Phase Power and nicely finished offices with breakroom. CALL FOR PRICING 6424 Parkland Drive 12,000 SF Free-Standing Facility with 3 Phase and plenty of parking on the 1.1 AC site. FOR LEASE $22/SF MODIFIED GROSS FORLEASE FORLEASE 3261 Hart Road Wauchula, FL One of a Kind Property +/- 95-acre Riverfront Home. Perfect for the outdoor enthusiast on Peace River: Fishing, Whitetail deer, Osceola Turkey. +/- 5000 feet of river frontage; Pool. Search YouTube “Hart Hammock on the Peace River”. FOR SALE $2,750,000 7910-7952 Fruitville Rd 12.56 AC development opportunity proximate to Fruitville / I-75 interchange. Newly rezoned to “BP”. CALL FOR PRICING FORSALE Richardson Kleiber Walter, a family-owned business celebrating 30+ Years of Excellence in Commercial and Industrial Real Estate Jeff Button | 941-313-1193 Jeff@SarasotaWarehouses.com | www.SarasotaWarehouses.com KLEIBER BUTTON INC. Lic Real Estate Broker KLEIBER BUTTON MANAGEMENT INC. Lic Real Estate Broker INDUSTRIAL & OFFICE PROPERTIES FOR SALE OR LEASE 426863-1 FORSALE
COURTESY FACEBOOK Crane Tech has 31 employees.

COMMERCIAL REAL ESTATE

TERMINAL VERACITY

SRQ airport CEO says available land can support passenger terminal growth without the 31 acres it leases to New College.

The wall-to-wall windows that surround Rick Piccolo’s office on the third floor of the terminal building provide a bird’s-eye view of the airfield activity at Sarasota-Bradenton International Airport. Sitting at a window-side round meeting table, he points across the tarmac and says, “If we ever need to expand, we can always do it over there.”

“Over there” is the northeastern portion of property owned and managed by the SarasotaManatee Airport Authority, of which Piccolo is president and CEO. Businesses lease space from the airport there.

Southwest of the terminal, the airport owns more than 100 acres, with plans for future revenue-producing commercial development along University Parkway, shared rental car preparation and staging area plus additional parking, which will be needed when sometime in the future it goes vertical on the short-term lot with a four-level parking structure.

T here, plans are for the first two levels to house quick-turn car rental service below two levels each with about 500 parking spaces. That construction will include a new-arrivals roadway, which will separate arrival and departure passenger traffic.

If expanding “over there” ever were to become necessary, it would be well beyond 2050 based on SMAA and more conservative Federal Aviation Ad-

The new long-range plan for Sarasota-Bradenton International Airport shows a new parking deck over the current short-term parking, along with a new-arrivals road, separating it from the departures traffic.

ministration projections.

The SMAA forecast projects four million boardings will require 29 gates by 2050, four shy of the airport’s complete buildout plan of 33 gates. Boardings, or enplanements, are departing passengers, meaning the total passenger count through the airport, under the call letters SRQ, is approximately doubled.

Projections by the FAA are lower. It forecasts growth rates of 1.2% per year from 2026 to 2030 with an aggregated 1.2% growth rate between 2024 and 2040 and also between 2024 and 2050. Both projections are low compared to SRQ’s recent growth and the FAA’s forecast.

The growth projections aren’t merely academic talking points. The data is also relevant to an ongoing conflict: the attempt by SMAA to sell 31 acres currently leased to New College of Florida, where its East Campus is immediately adjacent to the loop road around the airport’s parking lot.

P iccolo has appealed the FAA’s rejection of the plan to sell the property to New College for $11.5 million. Former SRQ Director of Facilities John Schussler, who retired in 2017, has actively opposed the sale and as such has lobbied the FAA, insisting the airport will need that land for future expansion when the 99-year, well-below-

BOTTOM LINE

KEY TAKEAWAY: Sarasota-Bradenton International Airport President and CEO Rick Piccolo disagrees with FAA denial of a plan to sell airport land to nearby New College.

CORE CHALLENGE: Massive growth at the airport, SRQ, has caused officials to enhance expansion plans to meet the passenger surge.

WHAT’S NEXT: Piccolo is appealing the decision.

market-rate lease with New College expires in 2056.

MORE PARKING

The airport’s master plan at full buildout, Piccolo says, indicates the site occupied by New College is disposable. Parking is not a concern to him as a new 500-space remote lot opened at the corner of University Parkway and Old Bradenton Road late last year, and another lot just north of the terminal is under construction. More as-yet unpaved lots along Rental Car Road are also currently available for overflow vehicles.

In all, 1,100 spaces will have been added by the time the new five-gate ground boarding facility opens late this year, the first of a three-phase project that will eventually bring 15 new gates, a net of 14 gates with the loss of Gate B2 to the construction.

Piccolo says there is adequate parking included in the expansion plans, but wonders if even that will be necessary.

“Thirty years from now, are people still driving their cars or using some other means of transportation?” Piccolo says. “A quarter of millennials don’t even think they need a car, and so how does it affect your parking? When you build a parking structure, today it costs about somewhere between $40,000 and $50,000 per space, so you do a revenue bond and 25 years from now, how many of those people will be parking cars in order to pay off the bond?

“Those are the kinds of things we have to think about when planning for parking.”

The airport’s current master plan shows $35 million in parking improvements and expansion that will take it to 2040 when, if passenger projections hold true, more will be needed. That is unless alternatives to personal vehicles abate parking requirements.“If you go vertical you’re virtually unlimited,” Piccolo says.

LONG RANGE GATE PLAN

If not parking, the New College land could be used to generate revenue, but not without considerable cost. Between now and 2056, the undervalued lease is anticipated to generate only about $3.5 million. Afterward, the costs to remove any structures there at that time would likely be even higher.

“It would be 2056 before you’d have it available anyway, so you live with this tremendously undervalued lease for another 31 years. Even if we need it in 31 years when the lease expires, do you think they wouldn’t fight us?” Piccolo says, transitioning his thoughts to the New College

12 BUSINESS OBSERVER | JUNE 21 – JUNE 27, 2024 BusinessObserverFL.com
See SRQ page 13 SRQ
Projected Gates Year B oardings Needed 2024 2,247,092 17 2025 2,368,434 17 2026 2,496,329 18 2027 2,563,729 19 2028 2,632,949 19 2029 2,704,038 20 2030 2,777,047 20 2040 3,348,752 24 2050 4,002,770 29 BASED ON 140,000 ANNUAL BOARDINGS PER GATE. SOURCE:
AIRPORT
COURTESY IMAGE ANDREW WARFIELD New College students live in the Dort Residence Hall, just a few yards from Airport Road that loops around the parking lot at the airport.

BOARDINGS FORECAST FOR 2024-2050

perspective. “It’s our 100-year anniversary, and you want to kick us off because you need to put some parking here? Put your parking someplace else or let’s work cooperatively.”

Cooperatively as in build a parking structure along General Spaatz Boulevard large enough to meet both airport and college needs.

ENOUGH CAPACITY

Between 2017 and 2023, boardings at SRQ, largely fueled by post-pandemic travel beginning in 2020, experienced explosive growth, from 593,830 per year to 2.16 million. That’s up 263.4%.

“We had this fantastic growth that was unprecedented, but it wasn’t going to continue forever,” Piccolo says. “We’re projecting probably a 2% increase in passengers next year, because things are starting to bottom out a little bit because of a number of

factors.”

The five new ground boarding gates have already been leased to Allegiant, which has yet to announce routes and the number of flights per day.

Piccolo says he anticipates the new gates to bring 2.2 million more passengers traveling through SRQ.

Currently, gates at SRQ average about 166,000 passengers each per year. The projected future average is 140,000. The current expansion alone will take SRQ to about three million boardings per year, or about six million total passengers.

“The FAA forecast says that we will hit just under three million enplanements in 2050, so I can make a cogent argument right now that when we finish the Terminal A extension, we will have enough gate capacity to go another 25 years before we would even need to build Phase 2 of this terminal,” Piccolo says. “Theoretically, this will be enough without adding Concourse C until 2050.”

DEEDS/MORTGAGES

The following real estate transactions of more than $1 million were filed in Charlotte, Collier, Hillsborough, Lee, Manatee, Pasco, Pinellas, Polk and Sarasota counties. The information, if available, lists the seller; buyer; address; amount of sale; previous price; and type of property. These were for transactions filed the week of April 7, 2024, except for Polk, which includes transactions filed the week of March 31, 2024.

CHARLOTTE

Buyer: Lennar Homes LLC

Seller: DRP FL 6 LLC

Address: Englewood

Property Type: Vacant land

Price: $2,374,300

COLLIER

Buyer: Omni RE Holdings LLC

Seller: 9720 Sample LLC

Address: 1990 Seward Ave., Naples

Property Type: Manufacturing plant

Price: $3,720,000

Previous Price: $2,850,000, 2022

HILLSBOROUGH

Buyer: Tampa Regency Owner LLC

Seller: Regency Park North LLC

Address: 599 Lake Kathy Drive, Brandon

Property Type: Office building

Price: $35,134,300

Previous Price: $24,376,100, 2020

Buyer: CF Bass II LLC

Seller: SPT Prairie 10501 Palm River Road LLC

Address: 10501 Palm River Road, Tampa

Property Type: Retail store

Price: $33,442,900

Previous Price: $28,603,600, 2017

LEE

Buyer: Exeter 9121 Centerlinks

Commerce LLC

Seller: Centerlinks Associates LLC

Address: 9121 Centerlinks Commerce Drive, Fort Myers

BIG BOOK OF BUSINESS

• Wide Reach and Targeted Audience: Directly mailed to over 19,962 readers, including key decision-makers in the

• Valuable Business Insights: Filled with economic information and trend analyses, making it a go-to resource for business owners.

• Prestige and Credibility: Association with a respected publication enhances your company’s credibility and connects your brand with industry leaders.

Property Type: Commercial condominium Price: $92,500,000

Buyer: D.R. Horton Inc.

Seller: PPG Hemingway Pointe LLC

Address: Fort Myers

Property Type: Vacant land Price: $12,480,000

MANATEE

Buyer: HGC Lakewood Ranch LLC

Seller: Legacy Golf Holdings LLC

Address: 8255 Legacy Blvd.,

Lakewood Ranch

Property Type: Golf course Price: $3,167,500

Buyer: IH6 Property Florida LP

Seller: Lennar Homes LLC

Address: Bradenton

Property Type: Vacant land Price: $1,889,500

PASCO

Buyer: DRB Group Florida LLC

Seller: Biscayne Homes LLC

Address: San Antonio

Property Type: Vacant land Price: $11,801,800

Buyer: Akron Exchange LLC

Seller: Blackfin Mirada LLC

Address: 31571 McCabe Road, San Antonio

Property Type: Retail store Price: $8,895,500

Previous Price: $1,350,000, 2021

PINELLAS

Buyer: SRL 66 LLC

Seller: Store Master Funding VIII LLC

Address: 13701 66th St. N., Largo

Property Type: Warehouse Price: $7,460,400

Previous Price: $5,570,000, August 2019

Buyer: Pinellas County Housing

Seller: Ameri-Pride Property Management and Real Estate Services LLC Address: Largo

Type: Vacant land Price: $3,550,000

POLK

Buyer: D.R. Horton Inc.

Seller: Wind Meadows South 2 LLC

Address: Bartow

Type: Vacant land Price: $6,052,100

Previous Price: $5,646,000, September 2022

Buyer: Gulf States Cold Storage Co. Seller: CRLV Group I LLC

Address: 1310 Lakeside Village

13 JUNE 21 – JUNE 27, 2024 | BUSINESS OBSERVER BusinessObserverFL.com COMING
FRIDAY, AUG 23
Reserve your ad space by Thursday, July 11! Call 941-366-3468 or advertise@yourobserver.com
Business Observer’s Big Book of Business is filled with economic information to help business owners keep up with changing trends.
business community.
2024 PUBLICATION Learn How We Can Help Grow Your Business 426268-1
Year S MAA Boardings Forecast G rowth Rate 2024 2,247.093 3.9%* 2025 2,368,434 5.4% 2026 2,496,329 5.4% 2027 2,563,729 2.7% 2828 2,632,949 2.7% 2029 2,704,038 2.7% 2030 2,777,047 2.7% 2040 3,348,047 2.7% average 2024-40 2050 4,002,770 2.2%  average 2024-50 * = CALCULATED FROM 2023 ENPLANEMENTS; SOURCE: SRQ from page 12
Authority
Property
Property
Circle, Lakeland Property Type: Retail stores Price:
Previous
Ltd. Seller:
Home Company LLC Address:
Property
land Price:
Seller:
LLC Address:
Jason Lee Place Property
repair shop Price:
$5,644,000
Price: $8,665,000, 2023 Buyer: KAERUU Co.
Pulte
Lakeland
Type: Vacant
$3,018,600 SARASOTA Buyer: Kevin Martin Mattoni
Musclecar Builders
5705
Type: Auto
$2,000,000 Previous Price: $1,019,300, 2007
STEVEN BENNA | CONTRIBUTOR
transactions BY

commercial real estate: news&notes

NAPLES/FORT MYERS/CHARLOTTE

A BIG BUY: A 195-acre parcel of property in Punta Gorda has sold. The land is at 175 Kings Highway just off Interstate 75. According to LSI Cos., which brokered and announced the deal, the sale price was $17.85 million. LSI did not name the buyer but Charlotte County property records show it was an LLC named TEG 175 Kings Highway whose address in the state’s Division of Corporations matches an Airmont, New York company named the Repag Accounting Group. Repag, on its website, describes itself as a “boutique back office firm for multifamily real estate.” Its offerings include financial and operations services for property owners, including payroll, cash management, accounts payable and financial reporting. There is nothing on the site about it owning properties. If the name sounds familiar, four LLCs tied to Repag bought the Charlotte Commons Apartments in Port Charlotte for $66.5 million earlier this year. The Punta Gorda deal was brokered by LSI’s William Rollins and Christi Pritchett.

A CANNABIS DEAL: A Fort Myers retail building occupied by a cannabis dispensary has sold. The 2,480-squarefoot building at 2952 Cleveland Ave. was bought by an investor who paid $5.3 million. The previous owner, a Boca Raton LLC, paid $570,000 for it in 2022 according to Lee County property records. Ron Osborne, managing director and broker for the Sperry RJ Realty, says current tenant AYR Cannabis Dispensary has a long-term lease with annual rent increases. The South Florida commercial real estate firm represented the buyer, a Dania Beach LLC. Accord-

ing to the listing, there are eight years left on the lease with 3% annual increases, with the most recent one in March. AYR is a Miami chain of dispensaries with stores in Nevada, Illinois, Pennsylvania and New Jersey. In Florida, it has more than 60 locations, including 19 along the Gulf Coast.

TAMPA/ST. PETERSBURG/PASCO/POLK BETTER THAN AVERAGE:

May was a good month for Chris Bowers of Eshenbaugh Land Co. The broker at the Tampa land firm closed two deals totaling 180 acres for nearly $7 million. The first was the purchase of 20 acres in Pasco County. The property, off of Handcart Road in Wesley Chapel, was sold to DRB Homes on May 31. The builder paid $5.9 million and plans to build a 144-unit townhouse community to be named Twin Oaks Townhomes on the site. Bowers represented DRB. The second deal was for 160 acres in Citrus County. The property sold May 23 for $1.05 million to a private investor who plans to use it for recreational purposes. Bowers represented the seller. Eshenbaugh was founded in 1992 by Bill Eshenbaugh and sold to Ryan Sampson in 2015. In 2022, the company surpassed $2 billion in total sales volume.

BIG BOOK OF UNITS:

Miami-based Starwood Capital has sold a 7,300unit multifamily portfolio with properties in Florida and Texas. Four of them are in Tampa. The industry publication CRE Connect says the buyer was the Toronto investment firm Brookfield, which paid $1.55 billion for the portfolio. The Tampa communities sold for a total of $185.4 million. Brookfield

A look at some of the week’s commercial real estate happenings across the region.

NAPLES/FORT MYERS/CHARLOTTE

A PIZZA OF PIE: Mellow Mushroom Pizza Bakers has opened a new Florida restaurant in Cape Coral, at 53 N.E. Pine Island Road next to next to Gator Mike’s Family Fun Park. The 5,479-square-foot restaurant has a 60-plus-seat main dining room and a full bar. For those unfamiliar with Mellow Mushroom, be

aware that it’s not a corner pizzeria in Brooklyn nor your local Pizza Hut. The chain, in a news release when it announced it was opening in Cape Coral, says what it offers is “stonebaked specialty pizzas and mellow vibes along with vibrant selections of shareable munchies, greens, remixed sandwiches, smash-style burgers and

is a global investment firm with a property division whose portfolio includes office, retail, multifamily, logistics, hospitality, singlefamily rentals, manufactured housing, student housing and self-storage. CRE Connect says the company plans to spend $100 million in the next five years to upgrade and

renovate units and amenities. The local properties are:

• The 408-unit Dawson Apartments at 15501 Bruce B. Downs Blvd. for $66.7 million.

• The 264-unit St. James Crossing Apartments at 5620 Tranquility Oaks Drive for $49.2 million.

• The 256-unit Oak Ramble Apartments at 14627 Grenadine Drive for $48.2 million.

• The 112-unit South Pointe Apartments at 5000 S. Himes Ave. for $21.3 million.

SARASOTA/MANATEE COMMUNITY LAGOON

COMING: Construction is set to begin this summer on a four-acre lagoon in Parrish. The man-made body of water is being built in the mixed-use Seaire community by Tampabased Metro Development Communities. The lagoon will be surrounded by 20 acres of shoreline and will include a swim-up bar, as well as kayaking and paddle boarding. Seaire is one of several lagooncentered developments for the

sweet treats.” While a little out there, it is an apt description for its menu and flower-power atmosphere. In all, the Atlanta chain has 23 restaurants in the state. Of those, eight (including the new one) are along the Gulf Coasts with locations in Clearwater, Brandon, Estero, Fort Myers, Lakeland, Wesley Chapel and Sarasota.

master planned community developer. That, according to its website, includes two in Pasco County, one in Hillsborough County and one coming to Fort Myers. While the lagoon, arguably the centerpiece of the new Manatee County development, isn’t built yet, construction has already started on some of the homes in the 1,155-acre development. There are expected to be 3,000 single-family homes built in all.

CONSENSUS IN PLAN

NING: The city of Sarasota’s Planning Board unanimously approved the first of two buildings in the One Park development in The Quay. According to the Sarasota Observer, sister publication of the Business Observer, the board’s OK of the plan for the 18-story, 86-unit luxury condo tower last week gets the developers to “the midpoint of their 18-month, often contentious odyssey for Blocks 1 and 9 in The Quay.” The original plan called for One Park to be built on both blocks and connected via a breezeway over Quay Commons. But in October, a judge ruled that the air rights over the commons couldn’t be conveyed and the Planning Board later voted to recommend denial of PMG’s proposal to combine the two blocks. The plan now calls for two buildings. The second one, One Park West, is still awaiting approval.

If you have news, notes or tips you want to pass along, contact LLLovio@BusinessObserverFL. com. Or you can text or call 727-371-6944.

14 BUSINESS OBSERVER | JUNE 21 – JUNE 27, 2024 BusinessObserverFL.com
ADOBESTOCK.COM
Mellow Mushroom has more than 150 locations across the U.S. The four-acre lagoon being built in the new Seaire community in Manatee County will offer a a “coastal lifestyle” in Parrish. IMAGE COURTESY OF LSI COS. A New York developer has bought 195 acres in Punta Gorda. COURTESY IMAGE COURTESY IMAGE The 2,480-square-foot Fort Myers building housing the AYR cannabis dispensary on Cleveland Avenue was bought by an investor who paid $5.3 million.

career and leadership lessons. Edited excerpts:

REMAIN STRONG

NAPKIN DEAL: Olsen was born in New York and raised in Atlanta. She got into the nightclub business early, coowning a place called Paradox in Atlanta when she was 24. On a trip to New York City with her cousin, she checked out the original Coyote Ugly. “I walked in and literally fell in love with the concept to make a fun story. They were like, ‘Hey, supermodel, get on this bar and do a shot of tequila or get the F out,’” she says on the podcast. “So I look at my cousin, who’s kind of my main buddy, older sister-type cousin who looks at me like, ‘You better get up there.’ And I did. And about several shots later, I was talking to the owners, and we did a napkin deal that night and I said I will find a location.”

LEADERS EAT LAST: Olsen, in a gallows humor kind of way, says leadership for her is being “a glorified landlord that is basically putting out fires every day. It’s a mini fire, from fixing the air conditioning unit to the toilets to this to that.” But Hurricane Michael in 2018 tested Olsen like few other fires ever had. She arrived in Panama City — a drive that took 10 hours from Tampa, double normal time — with tears in her eyes as she saw the “war zone” like destruction in the streets.

“It’s not just you’re worried about your business,” Olsen

says. “Half my employees lost their homes. So at that time, I had to find housing for them, get Publix gift cards to make sure they had food to feed their kids … It’s very difficult to see people in that situation.”

“At the same time, of course, you’re worried about where my income is going to come to support (the employees) and to reopen.”

ALL ALONE: The Panama City location was shuttered for two months, Olsen says, costing the company at least $1 million in sales. “Plus, my girls make tips, my barbacks make tips,” she adds, which isn’t covered in unemployment.

Olsen says she kept it together in front of the crew and team. Then, when she got to her house in Destin and was alone she had what she termed a mini meltdown. “It’s a very lonely space as an entrepreneur. I mean, you do have a few people you can talk to, but you have to act like the strong leader in those situations and then regroup and do things on your end, healthy things. I tried to do yoga, do breathwork, sleep well.”

WRITE IT DOWN: A mentor of Olsen’s back in college suggested she start a journal. Turned out to be a great move, one Olsen advises new leaders and young entrepreneurs to do. She even has pictures and a scrapbook of some past doings. Like the opening night at the Ybor City Coyote Ugly, which was a major headache due to a (nonhurricane) storm. “I’m so fortunate I have those and

wrote down” what happened, she says, adding looking back gives her an “I can do hard things” perspective.

T hat night, she says, “was the biggest thunderstorm you’ve ever seen. We were used to that, but it was a torrential downpour. My power went out. AC units are out, it’s 90 degrees and people are waiting down the street getting soaked. Everything that could possibly go wrong went wrong that evening. And it was neat to reread that … it was like, you hold it together but you’re losing it behind the scenes.”

NEVER GIVE UP

ESCAPE HATCH: Perspective is an important leadership trait for Olsen. It’s a message she relays often to her team — that even when you have a bad day, there are people who have it worse. It’s why she doesn’t show the news on any TV stations in the bars, sports only. “Everyone here is coming to Coyote because they want to forget their problems, be in a great space. Whether they have cancer, they’re going through a divorce, they’re going through a breakup, your job is to really lift them up,” she says. “This is an escape for them … so I try to remind the girls that you’re going to feel so much better (by) making their day better. And it’s going to make you feel better to give them that attention and listen to them.”

FROM WITHIN: Olsen seeks to promote people from inside the company as much as possible. An employee who started as a security guard making $8

Everyone here is coming to Coyote because they want to forget their problems, be in a great space. Whether they have cancer, they’re going through a divorce, they’re going through a breakup, your job is to really lift them up.

Olsen

an hour, for example, is now a co-owner of the Daytona and Destin locations and owns a second home in North Carolina, Olsen says. To get to that level, Olsen looks for eager and positive people, and people willing to come with ideas picked up from traveling to other places and bars. Olsen also prioritizes hard workers who don’t come in with a sense of entitlement. “I’m just as willing to walk by any table and pick up things and throw out things and get beer for the girls,” she says. “I want someone who’s in the trenches, who will do any job and they’re not above any job.”

DIVERSIFIED PORTFOLIO: Olsen has another job, in addition to bar owner, that of property owner with a multitude of tenants. That comes from a key career lesson: Don’t be be-

holden to a landlord whenever possible. She learned that the hard way, she says, when her landlord in the tony Buckhead section of Atlanta denied a lease extension on a Coyote Ugly she had there. “They put a parking deck and a condo where my Coyote Ugly location was,” she says. “So even though we’re paying rent on time and sales were rocking, it was game over. And my heart was broken, not only for me, but for my staff. We had worked so hard for five years to build up this great” location.

“I took that as fuel for my fire to say I will always own my buildings from this point forward,” Olsen says, adding she has some business partners in those ventures.

K EEP GOING: Two hallmarks of Olsen’s leadership at Coyote Ugly are philanthropy and longevity. On the former, she and her employees have supported a host of causes, such as March of Dimes. On the latter, the how-to of a lasting and sustainable business is the No. 1 piece of leadership advice she offers to budding entrepreneurs.

“It takes grit and it takes a hustle,” she says. “The first 10 years of this was constant. If it goes well, you will be rewarded 20-30 years into it, or even sooner. Be ready to never take no for an answer, and you have to be able to get through every obstacle and never quit … just get back in there and conquer.”

15 JUNE 21 – JUNE 27, 2024 | BUSINESS OBSERVER BusinessObserverFL.com Managing Editor, Business Observer Mark Gordon Hosted by John Martin was named managing partner of the Fort Myers Might Mussels in 2022. The team is a single-A affiliate of the Minnesota Twins. Martin also maintains a role in several agricultural businesses in Illinois. Business Observer Managing Editor Mark Gordon and John spoke about leadership lessons he’s learned on the farm and in the corporate world, growing up in a small farm town with no stop light and his passion for baseball. Hear how... A farmer has found his field of dreams in running a baseball team. Managing Partner, Fort Myers Might Mussels John Martin Listen Now! In case you missed an episode: Can an entrepreneur last 20 years in the rough-and-tumble bar and nightclub industry? Joanna Owens owner of Florida Coyote Ugly Learn to ride the waves of setbacks - and success Mark Loren designer and founder, Mark Loren Designs Life is tough. So are you. Johnny Crowder founder and CEO, Cope Notes, keynote speaker Can you really live a balanced life? Taylor Villeagas founder of Twelve Tables and Sunny Collabs, angel investor, podcaster, keynote speaker, influencer Transparency is key! Veronica Swiatek founder and owner, Massage Studio FROM THE CORNER OFFICE Podcast This week’s guest For a complete list of our podcasts, visit BusinessObserverFL.com/podcast 426565-1
COYOTE from page 3
16 BUSINESS OBSERVER | JUNE 21 – JUNE 27, 2024 BusinessObserverFL.com 426539-1 Quality group coverage that brings care closer. Getting to a doctor should be convenient and accessible. Florida Blue and Truli for Health work with local doctors to offer preventive care solutions and more, including: Call 1-800-99-TRULI or scan the QR code to visit FloridaBlue.com/TruliHealthSolutions Talk to your broker or call an exclusive Florida Blue agent today. *Provider networks are subject to change. They are made up of independently contracted physicians, hospitals, and ancillary providers. Health benefit plans have limitations and exclusions. The amount of benefits provided depends on the plan selected and the premium may vary with the amount of benefits selected. Health insurance is offered by Florida Blue, a trade name of Blue Cross and Blue Shield of Florida, Inc. and HMO coverage is offered by both Florida Blue HMO, a trade name of Health Options, Inc. and Truli for Health, a trade name of BeHealthy Florida, Inc., both HMO affiliates of Florida Blue. These companies are Independent Licensees of the Blue Cross and Blue Shield Association. 117443 0424 $0 annual checkups Rewards that can be used toward doctor visits and other medical expenses $5 visits for chronic conditions and $10 virtual visits Access to a wide network of doctors, hospitals, and pharmacies* 117443_0424_Group_2024BDM_Truli_PrintPreventive_BO_10.375x16_F.indd 1 4/16/24 1:27 PM

Public Notices

SARASOTA COUNTY LEGAL NOTICES

FIRST INSERTION

NOTICE OF PUBLIC SALE

Notice is hereby given that on 7/5/2024

at 10:30 am, the following mobile home will be sold at public auction pursuant to F.S. 715.109. 1977 TROP HS 2219A & 2219B . Last Tenants: ROBERT BARTLET, MARGARETHA O BARTELT, AND KATHLEEN GORMLEY and all unknown parties beneficiaries heirs . Sale to be at MHC BAY INDIES LLC, 950 RIDGEWOOD AVENUE, VENICE, FL 34285. 813-282-5925. June 21, 28, 2024 24-01263S

FIRST INSERTION

NOTICE OF PUBLIC SALE

Extra Space Storage, on behalf of itself or its affiliates, Life Storage or Storage Express, will hold a public auction to sell personal property described below belonging to those individuals listed below at the location indicated: 5109 Fruitville Rd, Sarasota FL 34232 on 7/11/24 at 10am Leo La Lone Household Goods/Furniture

Sue Sennott Furniture

The auction will be listed and advertised on www.storagetreasures.com.

Purchases must be made with cash only and paid at the above referenced facility in order to complete the transaction.

Extra Space Storage may refuse any bid and may rescind any purchase up until the winning bidder takes possession of the personal property.

June 21, 28, 2024 24-01247S

FIRST INSERTION

NOTICE OF PUBLIC SALE

Extra Space Storage, on behalf of itself or its affiliates, Life Storage or Storage Express, will hold a public auction to sell personal property described below belonging to those individuals listed below at the location indicated:

4515 S Tamiami Tr Sarasota Fl, 34231 on 07/11/24 at 10:00 a.m.

Joshua James

Household Goods /Furniture

Phillip Chip Jackson

Household Goods/Furniture

The auction will be listed and advertised on www.storagetreasurers.com.

Purchases must be made with cash only and paid at the above referenced facility in order to complete the transaction.

Extra Space Storage may refuse and bid and may rescind any purchase up until the winning bidder takes possession of the personal property.

June 21, 28, 2024 24-01231S

FIRST INSERTION

Notice Under Fictitious Name Law

Pursuant to Section 865.09, Florida Statutes

NOTICE IS HEREBY GIVEN that the undersigned, desiring to engage in business under fictitious name of BAR ITALIA located at 6568 UNIVERSITY PARKWAY, in the County of SARASOTA, in the City of SARASOTA, Florida 34240 intends to register the said name with the Division of Corporations of the Florida Department of State, Tallahassee, Florida. Dated at SARASOTA, Florida, this 13th day of JUNE, 2024.

NCR VENTURES LAKEWOOD RANCH, LLC June 21, 2024 24-01236S

FIRST INSERTION NOTICE OF PUBLIC SALE Notice is hereby given that on 7/5/2024 at 10:30 am, the following mobile home will be sold at public auction pursuant to F.S. 715.109. 1973 SUNH HS 472421343389A & 472421343389 . Last Tenants: NATALIE ANN HENSLER AND BRENTON NEIL DUDNEY and all unknown parties beneficiaries heirs . Sale to be at MHC BAY INDIES LLC, 950 RIDGEWOOD AVENUE, VENICE, FL 34285. 813282-5925. June 21, 28, 2024 24-01264S

FIRST INSERTION

NOTICE OF PUBLIC SALE

Extra Space Storage, on behalf of itself or its affiliates, Life Storage or Storage Express, will hold a public auction to sell personal property described below belonging to those individuals listed below at the location indicated: 4029 Bee Ridge Rd Sarasota, Fl 34233

Auction Date: 07-11-2024 @ 10 a.m Dana Beckwith Household Goods/Furniture, Tools/ Appliances

The auction will be listed and advertised on www.storagetreasurers.com.

Purchases must be made with cash only and paid at the above referenced facility in order to complete the transaction.

Extra Space Storage may refuse and bid and may rescind any purchase up until the winning bidder takes possession of the personal property. June 21, 28, 2024 24-01237S

FIRST INSERTION

NOTICE OF PUBLIC SALE

Extra Space Storage, on behalf of itself or its affiliates, Life Storage or Storage Express, will hold a public auction to sell personal property described below belonging to those individuals listed below at the location indicated: 5150 University Pkwy Sarasota, FL 34243 07/11/2024 10:00AM Anne Burgess boxes and decorations

The auction will be listed and advertised on www.storagetreasurers.com. Purchases must be made with cash only and paid at the above referenced facility in order to complete the transaction.

Extra Space Storage may refuse and bid and may rescind any purchase up until the winning bidder takes possession of the personal property. June 21, 28, 2024 24-01234S

FIRST INSERTION

NOTICE OF PUBLIC SALE

Extra Space Storage, on behalf of itself or its affiliates, Life Storage or Storage Express, will hold a public auction to sell personal property described below belonging to those individuals listed below at the location indicated: 3000 S Tamiami Trail Venice Fl 34293 07/11/2024 10 a.m.

Virginia & Ken Simonson Household Goods

Jordan McCargo

Household Goods/Furniture

Kelly Blevins

Household Goods/Furniture

The auction will be listed and advertised on www.storagetreasurers.com.

Purchases must be made with cash only and paid at the above referenced facility in order to complete the transaction.

Extra Space Storage may refuse and bid and may rescind any purchase up until the winning bidder takes possession of the personal property. June 21, 28, 2024 24-01238S

FIRST INSERTION

Notice Under Fictitious Name Law

Pursuant to Section 865.09, Florida Statutes

NOTICE IS HEREBY GIVEN that the undersigned, desiring to engage in business under fictitious name of Dorcey Law Firm located at 10181 Six Mile Cypress Pkwy, Ste C., in the County of Lee in the City of Fort Myers, Florida 33966 intends to register the said name with the Division of Corporations of the Florida Department of State, Tallahassee, Florida.

Dated at Lee, Florida, this Thursday, June 13, 2024.

Dorcey & Cahoone, PLLC June 21, 2024 24-01223S

FIRST INSERTION

NOTICE OF PUBLIC SALE OF PERSONAL PROPERTY

Notice is hereby given that Extra Space Storage will sell at public auction, to satisfy the lien of the owner, personal property described below belonging to those individuals listed below at location indicated: 1510 S Tamiami trail Venice Florida 34293, PH 941-525-7137

Time Of Sale - 10:00 AM on 7/11/2024

Jeremy Elliott - House Hold Good’s

The auction will be listed and advertised on www.storagetreasurers.com.

Purchases must be made with cash only and paid at the above referenced facility in order to complete the transaction.

Extra Space Storage may refuse and bid and may rescind any purchase up until the winning bidder takes possession of the personal property. June 21, 28, 2024 24-01230S

FIRST INSERTION

NOTICE OF PUBLIC SALE

Extra Space Storage, on behalf of itself or its affiliates, Life Storage or Storage Express, will hold a online auction to sell personal property described below belonging to those individuals listed below at the location indicated: 2255 N. Washington Blvd Sarasota, FL. 34234. July 11th, 2024 at 10:00AM Rebecca Devries- Mitchell Furniture and boxes

The auction will be listed and advertised on www.storagetreasurers.com.

Purchases must be made with cash only and paid at the above referenced facility in order to complete the transaction.

Extra Space Storage may refuse and bid and may rescind any purchase up until the winning bidder takes possession of the personal property. June 21, 28, 2024 24-01233S

FIRST INSERTION

NOTICE OF PUBLIC SALE

Extra Space Storage, on behalf of itself or its affiliates, Life Storage or Storage Express, will hold a public auction to sell personal property described below belonging to those individuals listed below at the location indicated:

Extra Space Storage 4173 Clark Rd, Sarasota, FL 34233 07/11/2024 10:00AM Kenneth Hale Outdoor equipment Marianne Felder Books, clothes, shoes Jerry Hilmes Household items

The auction will be listed and advertised on www.storagetreasures.com .

Purchases must be made with cash only and paid at the above referenced facility in order to complete the transaction.

Extra Space Storage may refuse any bid and may rescind any purchase up until the winning bidder takes possession of the personal property.

June 21, 28, 2024 24-01246S

FIRST INSERTION

NOTICE OF PUBLIC SALE

Extra Space Storage, on behalf of itself or its affiliates, Life Storage or Storage Express, will hold a public auction to sell personal property described below belonging to those individuals listed below at the location indicated:

5005 Englewood road Venice , Fl 34293 ,07/11/2024, 10:30 AM

Kathleen Summerall-Vehicle/Boat/ Trailer Autumn Sadowsky-house hold goods

Nichole Yoho-Household Goods/ Furniture

Carrie Ann Ridenour-Furniture

The auction will be listed and advertised on www.storagetreasurers.com. Purchases must be made with cash only and paid at the above referenced facility in order to complete the transaction.

FIRST INSERTION

Notice Under Fictitious Name Law According to Florida Statute Number 865.09 NOTICE IS HEREBY GIVEN that the undersigned, desiring to engage in business under the Fictitious Name of YES! CHILDREN’S MUSEUM located at 4938 BUCHANAN PL in the City of SARASOTA, Sarasota County, FL 34231 intends to register the said name with the Division of Corporations of the Department of State, Tallahassee, Florida.

Dated this 18th day of June, 2024. SARASOTA CHILDREN’S MUSEUM, INC Christina Fredericks June 21, 2024 24-01252S

FIRST INSERTION

NOTICE OF PUBLIC SALE

Extra Space Storage, on behalf of itself or its affiliates, Life Storage or Storage Express, will hold a public auction to sell personal property described below belonging to those individuals listed below at the location indicated: 4951 Lakewood Ranch Blvd N Sarasota Fl , 07/11/2024 10:00am

bidder takes possession of the personal property. June 21, 28, 2024 24-01229S

Extra Space Storage may refuse and bid and may rescind any purchase up until the winning bidder takes possession of the personal property.

June 21, 28, 2024 24-01232S

FIRST INSERTION

Notice of Self Storage Sale

Please take notice Xpress StorageFruitville located at 7600 Claxstrauss Dr., Sarasota, FL 34240 intends to hold a sale to sell the property stored at the Facility by the below Occupants whom are in default at an Auction. The sale will occur as an online auction via www. storagetreasures.com on 7/10/2024 at 10:00AM. Unless stated otherwise the description of the contents are household goods, furnishings and garage essentials. Glen Navarro unit #2133; Joan Smith unit #2146; Eric Netzel unit #3063. This sale may be withdrawn at any time without notice. Certain terms and conditions apply. See manager for details.

June 21, 28, 2024 24-01224S

FIRST INSERTION

Notice of Self Storage Sale

Please take notice Hide-Away Storage – 17th Street located at 2590 17th St., Sarasota, FL 34237 intends to hold a sale to sell the property stored at the Facility by the below list of Occupants whom are in default at an Auction. The sale will occur as an online auction via www.storagetreasures.com on 7/10/2024 at 10:00AM. Unless stated otherwise the description of the contents are household goods, furnishings and garage essentials. Roxann Beneby unit #00030; Zaria Bane unit #00220; Eric Mendoza unit #00840; John Purse unit #00876; Robert Burzynski unit #01004; Shauntavia Green unit #01188; Tumaka Byrd unit #01303; Clarence McDaniel unit #01431. This sale may be withdrawn at any time without notice. Certain terms and conditions apply. See manager for details. June 21, 28, 2024 24-01225S

FIRST INSERTION

Notice of Self Storage Sale

Please take notice Hide-Away Storage – Beneva located at 335 S. Beneva Rd., Sarasota, FL 34232 intends to hold a sale to sell the property stored at the Facility by the below Occupants whom are in default at an Auction. The sale will occur as an online auction via www.storagetreasures.com on 7/10/2024 at 10:00AM. Unless stated otherwise the description of the contents are household goods, furnishings and garage essentials. William Pedace unit #00158; Katherine Norman units #00411 & #01089; James Rosenbaum unit #00467; Dieng Mohamed unit #00688; Valerie Marquis unit #00823; Karen Sanchez unit #00852; Andy Bell unit #00918; Jeff Hostetler unit #01005. This sale may be withdrawn at any time without notice. Certain terms and conditions apply. See manager for details. June 21, 28, 2024 24-01226S

PAGE 17 **Additional Public Notices may be accessed on BusinessObserverFL.com and the statewide legal notice website, FloridaPublicNotices.com** JUNE 21 - JUNE 27, 2024 SARASOTA PAGES 17-24 CHARLOTTE PAGES 36-40 MANATEE PAGES 25-35 --- PUBLIC
---
SALES
Sean Bennett 3 bedroom, 3 couches, 3tv, 2 living, dinning, The auction will be listed and advertised on www.storagetreasures.com. Purchases must be made with cash only and paid at the above referenced facility in order to complete the transaction. Extra Space Storage may refuse any bid and may rescind any purchase up until the winning bidder takes possession of the personal property. June 21, 28, 2024 24-01227S FIRST INSERTION NOTICE OF PUBLIC SALE Extra Space Storage, on behalf of itself or its affiliates, Life Storage or Storage Express, will hold a public auction to sell personal property described below belonging to those individuals listed below at the location indicated: Life Storage will hold a public auction to sell personal property described below belonging to those individuals listed below at the location indicated: 997 Center Rd, Venice Fl 34292, on 07/11/2024 at 10:00AM Velma Howells Household Goods/Furniture Catherine Fraser Vehicle/Boat/Trailer The auction will be listed and advertised on www.storagetreasures.com. Purchases must be made with cash only and paid at the above referenced facility in order to complete the transaction. Life Storage may refuse any bid and may rescind any purchase up until the winning bidder takes possession of the personal property. June 21, 28, 2024 24-01228S FIRST INSERTION NOTICE OF PUBLIC SALE OF PERSONAL PROPERTY Notice is hereby given that Extra Space Storage will sell at public auction, to satisfy the lien of the owner, personal property described below belonging to those individuals listed below at location indicated: 1510 S Tamiami trail Venice Florida 34293, PH 941-525-7137 Time Of Sale - 10:00 AM on 7/11/2024 Anthony Tropiano - TV’s, bed, appliances, welders, cricut machines, table, chairs, dressers, lamps, and The auction will be listed
adver-
on www.storagetreasurers.com. Purchases must be made with cash only and paid at the above referenced facility in order to complete the transaction. Extra Space Storage may refuse and bid and may rescind any purchase up until the winning
and
tised
Call 941-906-9386 and select the appropriate County name from the menu option • We offer an online payment portal for easy credit card payment • Service includes us e-filing your affidavit to the Clerk’s office on your behalf We publish all Public sale, Estate & Court-related notices or email legal@businessobserverfl.com LEGAL NO TICE PUBLISH YOUR LV20878_V15

FIRST INSERTION NOTICE TO CREDITORS IN THE CIRCUIT COURT FOR THE TWELFTH JUDICIAL CIRCUIT, IN AND FOR SARASOTA COUNTY, FLORIDA, PROBATE DIVISION

File No. 2024 CP 656 SC IN RE: ESTATE OF JOHN B. JOHANNESSEN, Deceased.

The administration of the estate of JOHN B. JOHANNESSEN, Case No. 2024 CP 656 SC, is pending in the Circuit Court for Sarasota County, Florida, Probate Division, the address of which is 2002 Ringling Boulevard, Sarasota, FL 34237. The names and addresses of the personal representative and the personal representative’s attorney are set forth below. All creditors of the decedent and other persons having claims or demands against decedent’s estate on whom a copy of this notice is required to be served must file their claims with this court WITHIN THE LATER OF 3 MONTHS AFTER THE TIME OF THE FIRST PUBLICATION OF THIS NOTICE OR 30 DAYS AFTER THE DATE OF SERVICE OF A COPY OF THIS NOTICE ON THEM. All other creditors of the decedent and other persons having claims or demands against decedent’s estate must file their claims with this court WITHIN THREE MONTHS AFTER THE DATE OF THE FIRST PUBLICATION OF THIS NOTICE.

ALL CLAIMS NOT FILED WITHIN THE TIME PERIODS SET FORTH IN SECTION 733.702 OF THE FLORIDA PROBATE CODE WILL BE FOREVER BARRED.

NOTWITHSTANDING THE TIME PERIODS SET FORTH ABOVE, ANY CLAIM FILED TWO (2) YEARS OR MORE AFTER THE DECEDENT’S DATE OF DEATH IS BARRED.

The date of the first publication of this Notice is June 21, 2024.

Personal Representative: Chad R. Johannessen

3609 E 2nd Street Suite 402 Long Beach, CA 90803

Attorney for Personal Representative:

Taso M. Milonas Florida Bar No. 469858

Taso M. Milonas, P.A. 1348 Fruitville Road, Suite 202 Sarasota, Florida 34236

Telephone: (941) 954-5410

Facsimile: (941) 954-5490

Primary E-mail: tmilonas@wealthlawgroup.com

Secondary E-mail: service@wealthlawgroup.com

June 21, 28, 2024 24-01245S

FIRST INSERTION NOTICE TO CREDITORS IN THE CIRCUIT COURT FOR Sarasota COUNTY, FLORIDA

PROBATE DIVISION File No. 2024CP2708NC

Division PROBATE IN RE: ESTATE OF DONALD EUGENE SCHOENHALS, a/k/a DONALD SCHOENHALS, Deceased.

The administration of the estate of Donald Eugene Schoenhals, a/k/a Donald Schoenhals, deceased, whose date of death was December 13th, 2023, is pending in the Circuit Court for Sarasota County, Florida, Probate Division, the address of which is P.O. Box 3079, Sarasota, FL 34230. The names and addresses of the personal representative and the personal representative’s attorney are set forth below. All creditors of the decedent and other persons having claims or demands against decedent’s estate on whom a copy of this notice is required to be served must file their claims with this court ON OR BEFORE THE LATER OF 3 MONTHS AFTER THE TIME OF THE FIRST PUBLICATION OF THIS NOTICE OR 30 DAYS AFTER THE DATE OF SERVICE OF A COPY OF THIS NOTICE ON THEM. All other creditors of the decedent and other persons having claims or demands against decedent’s estate must file their claims with this court WITHIN 3 MONTHS AFTER THE DATE OF THE FIRST PUBLICATION OF THIS NOTICE.

ALL CLAIMS NOT FILED WITHIN THE TIME PERIODS SET FORTH IN FLORIDA STATUTES SECTION 733.702 WILL BE FOREVER BARRED.

NOTWITHSTANDING THE TIME PERIODS SET FORTH ABOVE, ANY CLAIM FILED TWO (2) YEARS OR MORE AFTER THE DECEDENT’S DATE OF DEATH IS BARRED.

The date of first publication of this notice is June 21, 2024. Juliann Kay Anderson P.O. Address: 5413 Knollwood Road, Raleigh, NC 27609 Personal Representative ROBERT W. DARNELL ATTORNEY AT LAW Attorneys for Personal Representative

FIRST INSERTION NOTICE TO CREDITORS IN THE CIRCUIT COURT FOR SARASOTA COUNTY, FLORIDA PROBATE DIVISION File No. 2024 CP 002553 NC Division Probate IN RE: ESTATE OF DORIS ANN TOSO Deceased. The administration of the estate of Doris Ann Toso, deceased, whose date of death was December 6, 2023, is pending in the Circuit Court for Sarasota County, Florida, Probate Division, the address of which is 2000 Main Street, Sarasota, Florida 34237. The names and addresses of the personal representative and the personal representative’s attorney are set forth below.

All creditors of the decedent and other persons having claims or demands against decedent’s estate on whom a copy of this notice is required to be served must file their claims with this court ON OR BEFORE THE LATER OF 3 MONTHS AFTER THE TIME OF THE FIRST PUBLICATION OF THIS NOTICE OR 30 DAYS AFTER THE DATE OF SERVICE OF A COPY OF THIS NOTICE ON THEM.

All other creditors of the decedent and other persons having claims or demands against decedent’s estate must file their claims with this court WITHIN 3 MONTHS AFTER THE DATE OF THE FIRST PUBLICATION OF THIS NOTICE.

ALL CLAIMS NOT FILED WITHIN THE TIME PERIODS SET FORTH IN FLORIDA STATUTES SECTION 733.702 WILL BE FOREVER BARRED.

NOTWITHSTANDING THE TIME PERIODS SET FORTH ABOVE, ANY CLAIM FILED TWO (2) YEARS OR MORE AFTER THE DECEDENT’S DATE OF DEATH IS BARRED.

The date of first publication of this notice is June 21, 2024.

Personal Representative: Debra J. Green 6 Eastbourne Circle Madison, Wisconsin 53717

Attorney for Personal Representative: Kate Smith

Attorney Florida Bar Number: 0196010 3400 S. Tamiami Trail, Suite 101 Sarasota, Florida 34239 Telephone: (941) 952-0550

Fax: (941) 952-0551

E-Mail: Kate@KateSmithLawFL.com

Secondary Email: Tammy@KateSmithLawFL.com June 21, 28, 2024 24-01235S

FIRST INSERTION NOTICE TO CREDITORS IN THE CIRCUIT COURT FOR THE TWELFTH JUDICIAL CIRCUIT, IN AND FOR SARASOTA COUNTY, FLORIDA, PROBATE DIVISION File No. 2024 CP 1980 NC IN RE: ESTATE OF JEANNE M. NOVAK Deceased. The administration of the estate of JEANNE M. NOVAK, Case No. 2024 CP 1980 NC, is pending in the Circuit Court for Sarasota County, Florida, Probate Division, the address of which is 2002 Ringling Boulevard, Sarasota, FL 34237. The names and addresses of the personal representative and the personal representative’s attorney are set forth below.

All creditors of the decedent and other persons having claims or demands against decedent’s estate on whom a copy of this notice is required to be served must file their claims with this court WITHIN THE LATER OF 3 MONTHS AFTER THE TIME OF THE FIRST PUBLICATION OF THIS NOTICE OR 30 DAYS AFTER THE DATE OF SERVICE OF A COPY OF THIS NOTICE ON THEM.

All other creditors of the decedent and other persons having claims or demands against decedent’s estate must file their claims with this court WITHIN THREE MONTHS AFTER THE DATE OF THE FIRST PUBLICATION OF THIS NOTICE.

ALL CLAIMS NOT FILED WITHIN THE TIME PERIODS SET FORTH IN SECTION 733.702 OF THE FLORIDA PROBATE CODE WILL BE FOREVER BARRED. NOTWITHSTANDING THE TIME PERIODS SET FORTH ABOVE, ANY CLAIM FILED TWO (2) YEARS OR MORE AFTER THE DECEDENT’S DATE OF DEATH IS BARRED. The date of the first publication of this Notice is June 21, 2024.

Personal Representative: Linda Novak

535 North Michigan Avenue, #2814 Chicago, IL 60611

Attorney for Personal Representative: Taso M. Milonas

Florida Bar No. 469858 Taso M. Milonas, P.A. 1348 Fruitville Road, Suite 202 Sarasota, Florida 34236

Telephone: (941) 954-5410

Facsimile: (941) 954-5490

Primary E-mail: tmilonas@wealthlawgroup.com Secondary E-mail: service@wealthlawgroup.com June 21, 28, 2024 24-01251S

FIRST INSERTION NOTICE TO CREDITORS IN THE CIRCUIT COURT FOR SARASOTA COUNTY, FLORIDA PROBATE DIVISION File No. 2024 CP 002593 NC Division Probate IN RE: ESTATE OF LYNN EMRICH BREWER Deceased.

The administration of the estate of Lynn Emrich Brewer, deceased, whose date of death was April 8, 2024, is pending in the Circuit Court for Sarasota County, Florida, Probate Division, the address of which is 2000 Main Street, Sarasota, Florida 34237. The names and addresses of the personal representative and the personal representative’s attorney are set forth below. All creditors of the decedent and other persons having claims or demands against decedent’s estate on whom a copy of this notice is required to be served must file their claims with this court ON OR BEFORE THE LATER OF 3 MONTHS AFTER THE TIME OF THE FIRST PUBLICATION OF THIS NOTICE OR 30 DAYS AFTER THE DATE OF SERVICE OF A COPY OF THIS NOTICE ON THEM.

All other creditors of the decedent and other persons having claims or demands against decedent’s estate must file their claims with this court WITHIN 3 MONTHS AFTER THE DATE OF THE FIRST PUBLICATION OF THIS NOTICE.

ALL CLAIMS NOT FILED WITHIN THE TIME PERIODS SET FORTH IN FLORIDA STATUTES SECTION 733.702 WILL BE FOREVER BARRED.

NOTWITHSTANDING THE TIME PERIODS SET FORTH ABOVE, ANY CLAIM FILED TWO (2) YEARS OR MORE AFTER THE DECEDENT’S DATE OF DEATH IS BARRED.

The date of first publication of this notice is June 21, 2024.

Personal Representative: Mary Lou Emrich 2879 Miraloda Drive Sarasota, Florida 34240

Attorney for Personal Representative: Kate Smith

Attorney Florida Bar Number: 0196010 3400 S. Tamiami Trail, Suite 101 Sarasota, Florida 34239

Telephone: (941) 952-0550

Fax: (941) 952-0551

E-Mail: Kate@KateSmithLawFL.com

Secondary Email: Tammy@KateSmithLawFL.com

June 21, 28, 2024 24-01241S

FIRST INSERTION

NOTICE TO CREDITORS IN THE CIRCUIT COURT FOR Sarasota COUNTY, FLORIDA PROBATE DIVISION File No. 2024CP2663NC Division PROBATE IN RE: ESTATE OF FORREST RICHARD BETTS, Deceased.

The administration of the estate of Forrest Richard Betts, deceased, whose date of death was April 18th, 2024, is pending in the Circuit Court for Sarasota County, FL, Probate Division, the address of which is P.O. Box 3079, Sarasota, Florida 34230. The names and addresses of the personal representative and the personal representative’s attorney are set forth below.

All creditors of the decedent and other persons having claims or demands against decedent’s estate on whom a copy of this notice is required to be served must file their claims with this court ON OR BEFORE THE LATER OF 3 MONTHS AFTER THE TIME OF THE FIRST PUBLICATION OF THIS NOTICE OR 30 DAYS AFTER THE DATE OF SERVICE OF A COPY OF THIS NOTICE ON THEM.

All other creditors of the decedent and other persons having claims or demands against decedent’s estate must file their claims with this court WITHIN 3 MONTHS AFTER THE DATE OF THE FIRST PUBLICATION OF THIS NOTICE.

ALL CLAIMS NOT FILED WITHIN THE TIME PERIODS SET FORTH IN FLORIDA STATUTES SECTION 733.702 WILL BE FOREVER BARRED. NOTWITHSTANDING THE TIME PERIODS SET FORTH ABOVE, ANY CLAIM FILED TWO (2) YEARS OR MORE AFTER THE DECEDENT’S DATE OF DEATH IS BARRED.

The date of first publication of this notice is June 21, 2024. Joseph E. Rocklein, III

P.O. Address: 8039 Cooper Creek Blvd., Suite 105, Bradenton, FL Erika Hunter

P.O. Address: 8039 Cooper Creek Blvd., Suite 105, Bradenton, FL Personal Representative

ROBERT W. DARNELL

ATTORNEY AT LAW

Attorneys for Personal Representative

2639 FRUITVILLE ROAD, SUITE 201 SARASOTA, FL 34237

Telephone: (941) 365-4950

Florida Bar No. 0611999 June 21, 28, 2024 24-01254S

FIRST INSERTION NOTICE TO CREDITORS IN THE CIRCUIT COURT FOR SARASOTA COUNTY, FLORIDA PROBATE DIVISION File No. 2024 CP 002779 NC Division Probate IN RE: ESTATE OF MARY JEAN EILBACHER a/k/a M. JEAN EILBACHER Deceased.

The administration of the estate of Mary Jean Eilbacher, deceased, whose date of death was February 28, 2024 is pending in the Circuit Court for Sarasota County, Florida, Probate Division, the address of which is 2002 Ringling Blvd., Sarasota, Florida 34237. The names and addresses of the personal representative and the personal representative’s attorney are set forth below. All creditors of the decedent and other persons having claims or demands against decedent’s estate on whom a copy of this notice is required to be served must file their claims with this court ON OR BEFORE THE LATER OF 3 MONTHS AFTER THE TIME OF THE FIRST PUBLICATION OF THIS NOTICE OR 30 DAYS AFTER THE DATE OF SERVICE OF A COPY OF THIS NOTICE ON THEM.

All other creditors of the decedent and other persons having claims or demands against decedent’s estate must file their claims with this court WITHIN 3 MONTHS AFTER THE DATE OF THE FIRST PUBLICATION OF THIS NOTICE.

ALL CLAIMS NOT FILED WITHIN THE TIME PERIODS SET FORTH IN FLORIDA STATUTES SECTION 733.702 WILL BE FOREVER BARRED.

NOTWITHSTANDING THE TIME PERIODS SET FORTH ABOVE, ANY CLAIM FILED TWO (2) YEARS OR MORE AFTER THE DECEDENT’S DATE OF DEATH IS BARRED.

The date of first publication of this notice is June 21, 2024.

Personal Representatives Rachel E. Meisner 17424 Lochner Road Spencerville, IN 46788

Email: rachelmeisner@gmail.com

Attorney for Personal Representative: Neil T. Lyons, Esq. Florida Bar No. 91826

Luhrsen Goldberg, LLC 6954 Professional Parkway Lakewood Ranch, Florida 34240

Email Address: ntl@lawpoweredbywomen.com June 21, 28, 2024 24-01256S

FIRST INSERTION NOTICE TO CREDITORS IN THE CIRCUIT COURT FOR SARASOTA COUNTY, FLORIDA PROBATE DIVISION File Number 2024 CP 002221 NC IN RE: ESTATE OF ROBERT FRANKLIN BOSSARD, M.D., Deceased.

The administration of the ESTATE OF ROBERT FRANKLIN BOSSARD, M.D., deceased, whose date of death was October 19, 2023, is pending in the Circuit Court for Sarasota County, Florida, Probate Division, the address of which is P.O. Box 3079, Sarasota, Florida 34230. The names and addresses of the personal representatives and the personal representatives’ attorney are set forth below.

All creditors of the decedent and other persons having claims or demands against decedent’s estate on whom a copy of this notice is required to be served must file their claims with this court ON OR BEFORE THE LATER OF 3 MONTHS AFTER THE TIME OF THE FIRST PUBLICATION OF THIS NOTICE OR 30 DAYS AFTER THE DATE OF SERVICE OF A COPY OF THIS NOTICE ON THEM.

All other creditors of the decedent and other persons having claims or demands against decedent’s estate must file their claims with this court WITHIN 3 MONTHS AFTER THE DATE OF THE FIRST PUBLICATION OF THIS NOTICE.

ALL CLAIMS NOT FILED WITHIN THE TIME PERIODS SET FORTH IN SECTION 733.702 OF THE FLORIDA

PROBATE CODE WILL BE FOREVER BARRED.

NOTWITHSTANDING THE TIME PERIODS SET FORTH ABOVE, ANY CLAIM FILED TWO (2) YEARS OR MORE AFTER THE DECEDENT’S DATE OF DEATH IS BARRED.

The date of the first publication of this Notice is June 21, 2024.

Personal Representatives:

DAVID ALAN BOSSARD, D.D.S.

c/o 1515 Ringling Blvd., 10th Floor Sarasota, Florida 34236

JANET PATRICIA

BOSSARD JORDAN

c/o 1515 Ringling Blvd., 10th Floor Sarasota, Florida 34236

Attorney for Personal Representatives: DANIEL L. TULLIDGE Florida Bar No. 106749

FERGESON SKIPPER, P.A. 1515 Ringling Boulevard, 10th Floor Sarasota, Florida 34236 (941) 957-1900 dtullidge@fergesonskipper.com services@fergesonskipper.com June 21, 28, 2024 24-01239S

FIRST INSERTION NOTICE TO CREDITORS IN THE CIRCUIT COURT FOR SARASOTA COUNTY, FLORIDA PROBATE DIVISION File No. 2024 CP 2785 NC IN RE: ESTATE OF WAYNE S. ZUNDEL Deceased.

The administration of the estate of WAYNE S. ZUNDEL, deceased, whose date of death was April 15, 2024, is pending in the Circuit Court for Sarasota County, Florida, Probate Division, the address of which is P.O. Box 3079, Sarasota, FL 34230. The names and addresses of the personal representative and the personal representative’s attorney are set forth below. All creditors of the decedent and other persons having claims or demands against decedent’s estate on whom a copy of this notice is required to be served must file their claims with this court ON OR BEFORE THE LATER OF 3 MONTHS AFTER THE TIME OF THE FIRST PUBLICATION OF THIS NOTICE OR 30 DAYS AFTER THE DATE OF SERVICE OF A COPY OF THIS NOTICE ON THEM. All other creditors of the decedent and other persons having claims or demands against decedent’s estate must file their claims with this court WITHIN 3 MONTHS AFTER THE DATE OF THE FIRST PUBLICATION OF THIS NOTICE.

ALL CLAIMS NOT FILED WITHIN THE TIME PERIODS SET FORTH IN FLORIDA STATUTES SECTION 733.702 WILL BE FOREVER BARRED.

NOTWITHSTANDING THE TIME PERIODS SET FORTH ABOVE, ANY CLAIM FILED TWO (2) YEARS OR MORE AFTER THE DECEDENT’S DATE OF DEATH IS BARRED.

The date of first publication of this notice is June 21, 2024. MARK L. ZUNDEL

Personal Representative P.O. Address: 6256 S. Miller Court Littleton, CO 80127

Tina M. Mroczkowski, Esq. Bowman, George, Scheb, Kimbrough, Koach & Chapman, PA 2750 Ringling Blvd., Suite 3 Sarasota, FL 34237 (941) 366-5510

Florida Bar No. 0096629

Email Addresses: tinam@bowmangeorge.com

Attorneys for Personal Representative June 21, 28, 2024 24-01240S

FIRST INSERTION NOTICE TO CREDITORS IN THE CIRCUIT COURT FOR SARASOTA COUNTY, FLORIDA PROBATE DIVISION File No. 2024 CP 2924 NC Division Probate IN RE: ESTATE OF DOROTHY WILLIAMS Deceased.

The administration of the estate of Dorothy Williams, deceased, whose date of death was April 1, 2024, is pending in the Circuit Court for Sarasota County, Florida, Probate Division, the address of which is 2000 Main St, Sarasota, FL 34237. The names and addresses of the personal representative and the personal representative’s attorney are set forth below.

All creditors of the decedent and other persons having claims or demands against decedent’s estate on whom a copy of this notice is required to be served must file their claims with this court ON OR BEFORE THE LATER OF 3 MONTHS AFTER THE TIME OF THE FIRST PUBLICATION OF THIS NOTICE OR 30 DAYS AFTER THE DATE OF SERVICE OF A COPY OF THIS NOTICE ON THEM. All other creditors of the decedent and other persons having claims or demands against decedent’s estate must file their claims with this court WITHIN 3 MONTHS AFTER THE DATE OF THE FIRST PUBLICATION OF THIS NOTICE.

ALL CLAIMS NOT FILED WITHIN THE TIME PERIODS SET FORTH IN FLORIDA STATUTES SECTION 733.702 WILL BE FOREVER BARRED.

NOTWITHSTANDING THE TIME PERIODS SET FORTH ABOVE, ANY

CLAIM FILED TWO (2) YEARS OR MORE AFTER THE DECEDENT’S DATE OF DEATH IS BARRED.

The date of first publication of this notice is June 21, 2024.

Personal Representative: Wendy Johnson 1154 Fraser Pine Blvd Sarasota, Florida 34240

Attorney for Personal Representative: Daniel Hooper Smith, Esq.

Attorney

Florida Bar Number: 1006829

ADVOCATES IN AGING WIESNER SMITH PLLC 328 N Rhodes Avenue

Sarasota, Florida 34237

Telephone: (941) 365-9900

Fax: (941) 365-4479

E-Mail: daniel@wiesnerlaw.com

Secondary E-Mail: sherri@wiesnerlaw.com

Tertiary E-Mail: rachel@wiesnerlaw.com June 21, 28, 2024 24-01253S

FIRST INSERTION

NOTICE TO CREDITORS IN THE CIRCUIT COURT FOR SARASOTA COUNTY, FLORIDA PROBATE DIVISION File No. 2024 CP 506 SC Division H2 - South County IN RE: ESTATE OF JEAN BRUNTON Deceased. The administration of the estate of JEAN BRUNTON , deceased, whose date of death was October 13, 2023 , is pending in the Circuit Court for SARASOTA County, Florida, Probate Division, the address of which is P. O. BOX 3079, SARASOTA, FL 34230 . The names and addresses of the personal representative and the personal representative’s attorney are set forth below. All creditors of the decedent and other persons having claims or demands against decedent’s estate on whom a copy of this notice is required to be served must file their claims with this court ON OR BEFORE THE LATER OF 3 MONTHS AFTER THE TIME OF THE FIRST PUBLICATION OF THIS NOTICE OR 30 DAYS AFTER THE DATE OF SERVICE OF A COPY OF THIS NOTICE ON THEM. All other creditors of the decedent and other persons having claims or demands against decedent’s estate must file their claims with this court WITHIN 3 MONTHS AFTER THE DATE OF THE FIRST PUBLICATION OF THIS NOTICE. ALL CLAIMS NOT FILED WITHIN THE TIME PERIODS SET FORTH IN FLORIDA STATUTES SECTION 733.702 WILL BE FOREVER BARRED. NOTWITHSTANDING THE TIME PERIODS SET FORTH ABOVE, ANY CLAIM FILED TWO (2) YEARS OR MORE AFTER THE DECEDENT’S DATE OF DEATH IS BARRED. The date of first publication of this notice is JUNE 21, 2024 Personal Representative: THOMAS E. BRUNTON 1222 Stable Crossing Maryville, TN 37803 Attorney for Personal Representative: STEPHEN K. BOONE, ESQ. Florida Bar Number: 371068 BOONE BOONE & BOONE, P.A. 1001 Avenida Del Circo VENICE, FL 34285 Telephone: (941) 488-6716 Fax: (941) 488-7079

E-Mail: sboone@boone-law.com June 21, 28, 2024 24-01255S

FIRST INSERTION NOTICE TO CREDITORS IN THE CIRCUIT COURT FOR SARASOTA COUNTY, FLORIDA PROBATE DIVISION File No. 2024 CP 002590 NC IN RE: ESTATE OF ROBERT S. ROGGIO, Deceased. The administration of the estate of ROBERT S. ROGGIO, deceased, whose date of death was April 13, 2024, is pending in the Circuit Court for Sarasota County, Florida, Probate Division, the address of which is Sarasota County Probate Court, P.O. Box 3079, Sarasota, FL 34230. The names and addresses of the personal representatives and the personal representatives’ attorney are set forth below. All creditors of the decedent and other persons having claims or demands against decedent’s estate on whom a copy of this notice is required to be served must file their claims with this court ON OR BEFORE THE LATER OF 3 MONTHS AFTER THE TIME OF THE FIRST PUBLICATION OF THIS NOTICE OR 30 DAYS AFTER THE DATE OF SERVICE OF A COPY OF THIS NOTICE ON THEM. All other creditors of the decedent and other persons having claims or demands against decedent’s estate must file their claims with this court WITHIN 3 MONTHS AFTER THE DATE OF THE FIRST PUBLICATION OF THIS NOTICE. ALL CLAIMS NOT FILED WITHIN THE TIME PERIODS SET FORTH IN FLORIDA STATUTES SECTION 733.702 WILL BE FOREVER BARRED. NOTWITHSTANDING THE TIME PERIOD SET FORTH ABOVE, ANY CLAIM FILED TWO (2) YEARS OR MORE AFTER THE DECEDENT’S DATE OF DEATH IS BARRED. The date of first publication of this notice is June 21, 2024. Personal Representatives: HILARY R.

JUNE 21 - JUNE 27, 2024 BUSINESS OBSERVER SARASOTA COUNTY 18
FRUITVILLE
SARASOTA, FL 34237 Telephone: (941) 365-4950 Florida Bar No. 0611999 June 21, 28, 2024 24-01249S
2639
ROAD, SUITE 201
RAFTOVICH 2003 Tundra Ct Annapolis, MD 21401 NEIL R. ROGGIO 3032 N. Seminary Ave Chicago, IL 60657 Attorney for Personal Representatives: ELIZABETH C. MARSHALL Florida Bar No. 0440884 Williams Parker Harrison Dietz & Getzen 50 Central Avenue, Eighth Floor Sarasota, FL 34236 Telephone: 941-366-4800 Designation of Email Addresses for service: Primary: emarshall@williamsparker.com Secondary: awatson@williamsparker.com June 21, 28, 2024 24-01250S
--- ESTATE ---

FIRST INSERTION NOTICE TO CREDITORS IN THE CIRCUIT COURT FOR SARASOTA COUNTY, FL PROBATE DIVISION CASE NUMBER: 2024-CP-002739 IN RE: ESTATE OF EVELYN R. TALBERT Deceased. The administration of the Estate of EVELYN R. TALBERT, whose date of death was April 21, 2024, is pending in the Circuit Court for Sarasota County, Florida, Probate Division, the address of which is 2000 Main Street, Sarasota, FL 34237. The names and address of the personal representative and personal representative’s attorney are set forth below.

ALL INTERESTED PERSONS ARE NOTIFIED THAT:

All creditors of the decedent and other persons having claims or demands against the decedent’s estate on whom a copy of this notice is required to be served must file their claims with this court ON OR BEFORE THE LATER OF 3 MONTHS AFTER THE TIME OF THE FIRST PUBLICATION OF THIS NOTICE OF 30 DAYS AFTER THE DATE OF SERVICE OF A COPY OF THIS NOTICE ON THEM.

All other creditors of the decedent and other persons having claims or demands against the decedent’s estate must file their claims with the Court WITHIN THREE MONTHS AFTER THE DATE OF THE FIRST PUBLICATION OF THIS NOTICE.

NOTWITHSTANDING THE TIME PERIOD SET FORTH ABOVE, ANY CLAIM FILED TWO (2) YEARS OR MORE AFTER THE DECEDENTS DATE OF DEATH IS BARRED.

The date of the first publication of this Notice is June 21, 2024.

Persons giving Notice:

C. Ted French, Personal Representative

c/o C. Ted French, Esq. 2033 Main Street, Suite 404 Sarasota, Florida 34237

/s/ C. Ted French

C. Ted French, Esq. Attorney for Personal Representative Florida Bar No 173400

2033 Main Street, Suite 404 Sarasota, Florida 34237 (941) 955-0908 - phone (941)955-5686 - facsimile

ted@tedfrench.org

June 21, 28, 2024 24-01266S

FIRST INSERTION NOTICE TO CREDITORS IN THE CIRCUIT COURT FOR SARASOTA COUNTY, FLORIDA PROBATE DIVISION File No. 2024 CP 2973 NC

IN RE: ESTATE OF FRANCES WEAVER Deceased.

The administration of the estate of FRANCES WEAVER, deceased, whose date of death was May 24, 2024, is pending in the Circuit Court for SARASOTA County, Florida, Probate Division, the address of which is Post Office Box 3079, Sarasota, FL 34230-3079. The names and addresses of the personal representative and the personal representative’s attorney are set forth below. All creditors of the decedent and other persons having claims or demands against decedent’s estate on whom a copy of this notice is required to be served must file their claims with this court ON OR BEFORE THE LATER OF 3 MONTHS AFTER THE TIME OF THE FIRST PUBLICATION OF THIS NOTICE OR 30 DAYS AFTER THE DATE OF SERVICE OF A COPY OF THIS NOTICE ON THEM.

All other creditors of the decedent and other persons having claims or demands against decedent’s estate must file their claims with this court WITHIN 3 MONTHS AFTER THE DATE OF THE FIRST PUBLICATION OF THIS NOTICE.

ALL CLAIMS NOT FILED WITHIN THE TIME PERIODS SET FORTH IN FLORIDA STATUTES SECTION 733.702 WILL BE FOREVER BARRED. NOTWITHSTANDING THE TIME PERIODS SET FORTH ABOVE, ANY CLAIM FILED TWO (2) YEARS OR MORE AFTER THE DECEDENT’S DATE OF DEATH IS BARRED.

A personal representative or curator has no duty to discover whether any property held at the time of the decedent’s death by the decedent or the decedent’s surviving spouse is property to which the Florida Uniform Disposition of Community Property Rights at Death Act as described in sections 732.216732.228, applies, or may apply, unless a written demand is made by a creditor as specified under section 732.2211. The date of first publication of this notice is June 21, 2024.

Personal Representative: MARK WEAVER 1110 Lake Drive Grand Island, Florida 32735

Attorney for Personal Representative: JOHN FERRARI, JR.

Attorney Florida Bar Number: 111132 Ferrari, Butler

FIRST INSERTION NOTICE TO CREDITORS IN THE CIRCUIT COURT FOR SARASOTA COUNTY, FLORIDA PROBATE DIVISION File No. 2024-CP-001697-NC IN RE: ESTATE OF LINDA KELLY GARNER, Deceased. The administration of the estate of LINDA KELLY GARNER, deceased, whose date of death was November 26, 2023, is pending in the Circuit Court for Sarasota County, Florida, Probate Division, the address of which is P.O. Box 3079, Sarasota, FL 34230. The names and addresses of the personal representative and the personal representative’s attorney are set forth below. All creditors of the decedent and other persons having claims or demands against decedent’s estate on whom a copy of this notice is required to be served must file their claims with this court WITHIN THE LATER OF 3 MONTHS AFTER THE TIME OF THE FIRST PUBLICATION OF THIS NOTICE OR 30 DAYS AFTER THE DATE OF SERVICE OF A COPY OF THIS NOTICE ON THEM. All other creditors of the decedent and other persons having claims or demands against decedent’s estate must file their claims with this court WITHIN 3 MONTHS AFTER THE DATE OF THE FIRST PUBLICATION OF THIS NOTICE.

ALL CLAIMS NOT FILED WITHIN THE TIME PERIODS SET FORTH IN SECTION 733.702 OF THE FLORIDA PROBATE CODE WILL BE FOREVER BARRED. NOTWITHSTANDING THE TIME PERIODS SET FORTH ABOVE, ANY CLAIM FILED TWO (2) YEARS OR MORE AFTER THE DECEDENT’S DATE OF DEATH IS BARRED.

The date of first publication of this notice is June 21, 2024.

Personal Representative: Kyle Garner c/o Christopher A. Likens, Esq. 1800 Second Street, Suite 971 Sarasota, FL 34236

Attorney for Personal Representative: Christopher A. Likens Florida Bar No. 0981303 CHRISTOPHER A LIKENS, P.A. 1800 Second Street, Suite 971 Sarasota, FL 34236 Telephone: (941) 365-7838 eservice@calikens.com June 21, 28, 2024 24-01257S

FIRST INSERTION NOTICE TO CREDITORS (summary administration) IN THE CIRCUIT COURT FOR SARASOTA COUNTY, FLORIDA PROBATE DIVISION File No. 2024 CP 002526 NC IN RE: ESTATE OF MICHAEL C. JENSEN, Deceased. TO ALL PERSONS HAVING CLAIMS OR DEMANDS AGAINST THE ABOVE ESTATE:

You are hereby notified that an Order of Summary Administration has been entered in the estate of MICHAEL C. JENSEN, deceased, File Number 2024 CP 002526 NC by the Circuit Court for Sarasota County, Florida, Probate Division, the address of which is 2000 Main Street, Sarasota, FL 34237 that the decedent’s date of death was April 2, 2024; that the total value of the estate is $33,870.90 and that the names and addresses of those to whom it has been assigned by such order are: Name Address

NATALIE ANN JENSEN-NOLL 500 Westover Drive #4316, Sanford, NC 27330 STEPHANIE KATHERINE JENSEN 944 Jupiter Drive, Incline Village, NV 89451 ALL INTERESTED PERSONS ARE NOTIFIED THAT: All creditors of the estate of the decedent and persons having claims or demands against the estate of the decedent other than those for whom provision for full payment was made in the Order of Summary Administration must file their claims with this court WITHIN THE TIME PERIODS SET FORTH IN FLORIDA STATUTES SECTION 733.702. ALL CLAIMS AND DEMANDS NOT SO FILED WILL BE FOREVER BARRED. NOTWITHSTANDING ANY OTHER APPLICABLE TIME PERIOD, ANY CLAIM FILED TWO (2) YEARS OR MORE AFTER THE DECEDENT’S DATE OF DEATH IS BARRED.

The date of first publication of this Notice is June 21, 2024.

Person Giving Notice:

NATALIE ANN JENSEN-NOLL 7858 Sanderling Rd. Sarasota, FL 34242

Attorney for Person Giving Notice: ELIZABETH P. COTTOM Florida Bar No. 92847

Williams Parker Harrison Dietz & Getzen 50 Central Avenue, Eighth Floor Sarasota, FL 34236

Telephone: 941-366-4800

Designation of Email

Addresses for service:

Primary: ecottom@williamsparker.com

Secondary: emitchell@williamsparker.com June 21, 28, 2024 24-01267S

FIRST INSERTION

NOTICE TO CREDITORS IN THE CIRCUIT COURT FOR SARASOTA COUNTY, FLORIDA PROBATE DIVISION File No. 2024 CP 001900 NC Division PROBATE IN RE: ESTATE OF JONAS STEURY, JR Deceased.

The administration of the estate of JONAS STEURY, JR, deceased, whose date of death was October 22, 2023, is pending in the Circuit Court for SARASOTA County, Florida, Probate Division, the address of which is P. O. Box 3079, Sarasota, FL 34230. The names and addresses of the personal representative and the personal representative’s attorney are set forth below.

All creditors of the decedent and other persons having claims or demands against decedent’s estate on whom a copy of this notice is required to be served must file their claims with this court ON OR BEFORE THE LATER OF 3 MONTHS AFTER THE TIME OF THE FIRST PUBLICATION OF THIS NOTICE OR 30 DAYS AFTER THE DATE OF SERVICE OF A COPY OF THIS NOTICE ON THEM.

All other creditors of the decedent and other persons having claims or demands against decedent’s estate must file their claims with this court WITHIN 3 MONTHS AFTER THE DATE OF THE FIRST PUBLICATION OF THIS NOTICE.

ALL CLAIMS NOT FILED WITHIN THE TIME PERIODS SET FORTH IN FLORIDA STATUTES SECTION 733.702 WILL BE FOREVER BARRED.

NOTWITHSTANDING THE TIME PERIODS SET FORTH ABOVE, ANY CLAIM FILED TWO (2) YEARS OR MORE AFTER THE DECEDENT’S DATE OF DEATH IS BARRED.

The date of first publication of this notice is June 21, 2024.

STEVEN STEURY P.O. Address: 5127 58th Terrace E. Bradenton, FL 34203

Personal Representative

SANDY ALAN LEVITT, P.A.

Attorneys for Personal Representative 2201 RINGLING BOULEVARD

SUITE 203 SARASOTA, FL 34237

Telephone: (941) 955-9993

Florida Bar No. 0282529

Email Addresses: salevitt.pa@verizon.net June 21, 28, 2024 24-01270S

FIRST INSERTION

NOTICE TO CREDITORS IN THE CIRCUIT COURT OF THE TWELFTH JUDICIAL CIRCUIT IN AND FOR SARASOTA COUNTY, FLORIDA

PROBATE DIVISION

CASE NO.: 24-CP-1875-SC IN RE: THE ESTATE OF MICHELE C. HARRINGTON, Deceased.

The administration of the estate of MICHELE C. HARRINGTON, deceased, whose date of death was February 29, 2024, is pending in the Circuit Court for Sarasota County, Florida, Probate Division, the address of which is P.O. Box 3079, Sarasota, FL 34230. The names and addresses of the personal representative and the personal representative’s attorney are set forth below.

All creditors of the decedent and other persons having claims or demands against decedent’s estate on whom a copy of this notice is required to be served must file their claims with this court ON OR BEFORE THE LATER OF 3 MONTHS AFTER THE TIME OF THE FIRST PUBLICATION OF THIS NOTICE OR 30 DAYS AFTER THE DATE OF SERVICE OF A COPY OF THIS NOTICE ON THEM.

All other creditors of the decedent and other persons having claims or demands against decedent’s estate must file their claims with this court WITHIN 3 MONTHS AFTER THE DATE OF THE FIRST PUBLICATION OF THIS NOTICE.

ALL CLAIMS NOT FILED WITHIN THE TIME PERIODS SET FORTH IN FLORIDA STATUTES SECTION 733.702 WILL BE FOREVER BARRED.

NOTWITHSTANDING THE TIME PERIODS SET FORTH ABOVE, ANY CLAIM FILED TWO (2) YEARS OR MORE AFTER THE DECEDENT’S DATE OF DEATH IS BARRED.

The date of first publication of this notice is June 21, 2024.

MOIRA C.M. HARRINGTON Personal Representative 901 Haslage Avenue Pittsburgh, PA 15212

LISA B. GODDY

Florida Bar No. 0507075

Email: lgoddy@wga-law.com

Alternate Email: pleadings@wga-law.com

DAVID R. PASH

Florida Bar No. 484679

Email: dpash@wga-law.com

Alternate Email: pleadings@wga-law.com

WOLLMAN, GEHRKE & ASSOCIATES, PA

Attorneys for Personal Representative

2235 Venetian Court, Suite 5 Naples, FL 34109

Telephone: 239-435-1533

Facsimile: 239-435-1433

June 21, 28, 2024 24-01259S

FIRST INSERTION NOTICE TO CREDITORS IN THE CIRCUIT COURT FOR SARASOTA COUNTY, FLORIDA PROBATE DIVISION File No. 2024-CP-3010-SC Division Probate IN RE: ESTATE OF CINDY J. EGGLESTON Deceased.

The administration of the estate of CINDY J. EGGLESTON, deceased, whose date of death was March 3, 2023, is pending in the Circuit Court for SARASOTA County, Florida, Probate Division, the address of which is P.O. Box 3079, Sarasota, Florida 34230. The names and addresses of the personal representative and the personal representative’s attorney are set forth below.

All creditors of the decedent and other persons having claims or demands against decedent’s estate on whom a copy of this notice is required to be served must file their claims with this court ON OR BEFORE THE LATER OF 3 MONTHS AFTER THE TIME OF THE FIRST PUBLICATION OF THIS NOTICE OR 30 DAYS AFTER THE DATE OF SERVICE OF A COPY OF THIS NOTICE ON THEM.

All other creditors of the decedent and other persons having claims or demands against decedent’s estate must file their claims with this court WITHIN 3 MONTHS AFTER THE DATE OF THE FIRST PUBLICATION OF THIS NOTICE.

ALL CLAIMS NOT FILED WITHIN THE TIME PERIODS SET FORTH IN FLORIDA STATUTES SECTION 733.702 WILL BE FOREVER BARRED.

NOTWITHSTANDING THE TIME PERIODS SET FORTH ABOVE, ANY CLAIM FILED TWO (2) YEARS OR MORE AFTER THE DECEDENT’S DATE OF DEATH IS BARRED.

The date of first publication of this notice is June 21, 2024.

Personal Representative: REBECCA H. RODRIGUEZ 2845 Afar Avenue North Port, Florida 34286

Attorney for Personal Representative: NICOLE S. PEET

Attorney Florida Bar Number: 1025612

FARR LAW FIRM P.A.

237 Nokomis Avenue South Venice, FL 34285

Telephone: (941) 488-7751

Fax: (941) 497-7636

E-Mail: npeet@farr.com

Secondary E-Mail: tweiss@farr.com

June 21, 28, 2024 24-01258S

FIRST INSERTION NOTICE TO CREDITORS IN THE CIRCUIT COURT FOR SARASOTA COUNTY, FLORIDA PROBATE DIVISION File No. 2024 CP 002984 SC Division Probate IN RE: ESTATE OF KENNETH R. MCMILLEN, JR., aka KENNETH RENFER MCMILLEN Deceased.

The administration of the estate of KENNETH R. MCMILLEN, JR., also known as KENNETH RENFER MCMILLEN, deceased, whose date of death was April 19, 2024, is pending in the Circuit Court for Sarasota County, Florida, Probate Division, the address of which is PO Box 3079, Sarasota, FL 34230. The names and addresses of the personal representative and the personal representative’s attorney are set forth below.

All creditors of the decedent and other persons having claims or demands against decedent’s estate, on whom a copy of this notice is required to be served, must file their claims with this court ON OR BEFORE THE LATER OF 3 MONTHS AFTER THE TIME OF THE FIRST PUBLICATION OF THIS NOTICE OR 30 DAYS AFTER THE DATE OF SERVICE OF A COPY OF THIS NOTICE ON THEM.

All other creditors of the decedent and other persons having claims or demands against decedent’s estate must file their claims with this court WITHIN 3 MONTHS AFTER THE DATE OF THE FIRST PUBLICATION OF THIS NOTICE.

ALL CLAIMS NOT FILED WITHIN THE TIME PERIODS SET FORTH IN FLORIDA STATUTES SEC-

TION 733.702 WILL BE FOREVER BARRED.

NOTWITHSTANDING THE TIME PERIOD SET FORTH ABOVE, ANY CLAIM FILED TWO (2) YEARS OR MORE AFTER THE DECEDENT’S DATE OF DEATH IS BARRED.

The date of first publication of this notice is: June 21, 2024. Signed on this 17th day of June, 2024.

RONALD JOSEPH STANISH

Personal Representative 1157 Morningside Place Sarasota, FL 34236

William E. Gaylor, III

Attorney for Personal Representative

Florida Bar No. 0834350 Muirhead, Gaylor, Steves & Waskom, P.A. 901 Ridgewood Avenue Venice, FL 34285

Telephone: 941-484-3000

Email: chip.gaylor@mgswlaw.com

Secondary Email: beth.waskom@mgswlaw.com June 21, 28, 2024 24-01265S

FIRST INSERTION NOTICE TO CREDITORS IN THE CIRCUIT COURT FOR SARASOTA COUNTY, FLORIDA PROBATE DIVISION File No. 2024-CP-001502-SC Division: Probate IN RE: ESTATE OF NANCY ANN MILLER a/k/a NANCY A. MILLER Deceased.

The administration of the Estate of Nancy Ann Miller a/k/a Nancy A. Miller, deceased, whose date of death was February 2, 2024, is pending in the Circuit Court for Sarasota County, Florida, Probate Division, the address of which is 200 Main St., Sarasota, Florida 34237. The names and addresses of the personal representative and the personal representative’s attorney are set forth below.

All creditors of the decedent and other persons having claims or demands against decedent’s estate on whom a copy of this notice is required to be served must file their claims with this court ON OR BEFORE THE LATER OF 3 MONTHS AFTER THE TIME OF THE FIRST PUBLICATION OF THIS NOTICE OR 30 DAYS AFTER THE DATE OF SERVICE OF A COPY OF THIS NOTICE ON THEM.

All other creditors of the decedent and other persons having claims or demands against decedent’s estate must file their claims with this court WITHIN 3 MONTHS AFTER THE DATE OF THE FIRST PUBLICATION OF THIS NOTICE.

ALL CLAIMS NOT FILED WITHIN THE TIME PERIODS SET FORTH IN FLORIDA STATUTES SECTION 733.702 WILL BE FOREVER BARRED.

NOTWITHSTANDING THE TIME PERIODS SET FORTH ABOVE, ANY CLAIM FILED TWO (2) YEARS OR MORE AFTER THE DECEDENT’S DATE OF DEATH IS BARRED.

The date of first publication of this notice is June 21, 2024. Personal Representative Christopher Patrick Miller 14304 Palmer Ave. Port Charlotte, Florida 33953

Attorney for Personal Representative

Tina M. Mays Florida Bar No. 0726044

Mizell & Mays Law Firm, P.A. 331 Sullivan St., Punta Gorda, FL 33950 Telephone: (941) 575-9291

E-mail Addresses: tmays@mizell-law.com, ndotres@mizell-law.com June 21, 28, 2024 24-01269S

FIRST INSERTION NOTICE TO CREDITORS IN THE CIRCUIT COURT FOR SARASOTA COUNTY, FLORIDA PROBATE DIVISION File No.: 2024 CP 1092 NC Division: Probate IN RE: ESTATE OF LAWRENCE F. BOND Deceased.

The administration of the Estate of Lawrence F. Bond, Jr., deceased, whose date of death was December 16, 2023, is pending in the Circuit Court for Sarasota County, Florida, Probate Division, the address of which is 2002 Ringling Blvd., Sarasota, Florida 34237. The names and addresses of the personal representative and the personal representative’s attorney are set forth below.

All creditors of the decedent and other persons having claims or demands against decedent’s estate on whom a copy of this notice is required to be served must file their claims with this court ON OR BEFORE THE LATER OF 3 MONTHS AFTER THE TIME OF THE FIRST PUBLICATION OF THIS NOTICE OR 30 DAYS AFTER THE DATE OF SERVICE OF A COPY OF THIS NOTICE ON THEM.

All other creditors of the decedent and other persons having claims or demands against decedent’s estate must file their claims with this court WITHIN 3 MONTHS AFTER THE DATE OF THE FIRST PUBLICATION OF THIS NOTICE.

ALL CLAIMS NOT FILED WITHIN THE TIME PERIODS SET FORTH IN FLORIDA STATUTES SECTION 733.702 WILL BE FOREVER BARRED.

NOTWITHSTANDING THE TIME PERIODS SET FORTH ABOVE, ANY CLAIM FILED TWO (2) YEARS OR MORE AFTER THE DECEDENT’S DATE OF DEATH IS BARRED.

The date of first publication of this notice is June 21, 2024.

Personal Representative: Jennifer Switalski c/o Knowles, Bouziane & Shaffer PLLC 2812 Manatee Ave. W. Bradenton, Florida 34205

Attorney for Personal Representative: William Shaffer, Esq

Attorney for Petitioner Florida Bar Number: 65952

Knowles, Bouziane & Shaffer PLLC 2812 Manatee Ave. W. Bradenton, Florida 34205

Telephone: (941) 404-4940

E-Mail: will@bandslaw.com June 21, 28, 2024 24-01271S

FIRST INSERTION NOTICE TO CREDITORS IN THE CIRCUIT COURT OF THE THIRTEENTH .JUDICIAL CIRCUIT IN AND FOR SARASOTA COUNTY, FLORIDA

PROBATE DIVISION CASE NUMBER: 2024 CP 001648 IN RE: ESTATE OF RAYMA SUE SANDERS Deceased. The administration of the Estate of RAYMA SUE SANDERS, whose date of death was FEBRUARY 1, 2024, is pending in the Circuit Court for SARASOTA County, Florida, Probate Division, the address of which is 2000 Main Street, Sarasota, FL 34237. The names and address of the personal representative and personal representative’s attorney are set forth below. ALL INTERESTED PERSONS ARE NOTIFIED THAT: All persons on whom this notice is served who have objections that challenge the validity of the will, the qualifications of the personal representative, venue, or jurisdiction of this Court are required to file their objections with this Court WITHIN THE LATER ON THREE MONTHS AFTER THE DATE OF THE FIRST PUBLICATION OF THIS NOTICE OR THIRTY DAYS AFTER THE DATE OF SERVICE OF A COPY OF THIS NOTICE ON THEM. All creditors of the decedent and other persons having claims or demands against the decedent’s estate on whom a copy of this notice is served within three months after the date of the first publication of this notice must file their claims with this Court WITHIN THE LATER OF THREE MONTHS AFTER THE DATE OF THE FIRST PUBLICATION OF THIS NOTICE OR THREE MONTHS AFTER THE DATE OF SERVICE OF A COPY OF THIS NOTICE ON THEM. All other creditors of the decedent and persons having claims or demands against the decedent’s estate must file their claims with the Court WITHIN THREE MONTHS AFTER THE DATE OF THE FIRST PUBLICATION OF THIS NOTICE. ALL CLAIMS DEMANDS AND OBJECTIONS NOT SO FILED WILL BE FOREVER BARRED. The date of the first publication of this Notice is June 21, 2024. Persons giving Notice: HARRY GINSBERG, Personal Representative c/o 2033 Main Street, Suite 404 Sarasota, Florida 34237 C. Ted French, Esq. Attorney for PersonalRepresentative Florida Bar No 173400 2033 Main Street, Suite 404 Sarasota, Florida 34237 (941) 955-0908 - phone ted@tedfrench.org June 21, 28, 2024 24-01272S

JUNE 21 - JUNE 27, 2024 BusinessObserverFL.com SARASOTA COUNTY 19
& Moneymaker, PLLC 2520 Tamiami Trail North, Suite 11 Nokomis, Florida 34275 Telephone: (941) 960-1676 Fax: (941) 296-8656 E-Mail: johnf@elderlegalfl.com Secondary E-Mail: pollyb@elderlegalfl.com June 21, 28, 2024 24-01260S
--- ESTATE --Friday
SARASOTA • MANATEE HILLSBOROUGH • PASCO PINELLAS • POLK • LEE COLLIER •CHARLOTTE LV20906_V9
Publication

What

is a public notice?

A public notice is information intended to inform citizens of government activities. The notice should be published in a forum independent of the government, readily available to the public, capable of being securely archived and verified by authenticity.

The West Orange Times carries public notices in Orange County, Florida.

Are internet-only legal notices sufficient?

No. While the internet is clearly a useful resource, websites should not be used as the sole source of a legal notice.

Websites, whether controlled by a government body or a private firm, are not independent, archived, readily available or independently verified.

Newspaper legal notices fulfills all of those standards.

Are there different types of legal notices?

Simply put, there are two basic types - Warning Notices and Accountability Notices.

Warning notices inform you when government, or a private party authorized by the government, is about to do something that may affect your life, liberty or pursuit of happiness. Warning notices typically are published more than once over a certain period.

Accountability notices are designed to make sure citizens know details about their government. These notices generally are published one time, and are archived for everyone to see. Accountability is key to efficiency in government.

Who benefits from legal notices?

You do. Legal notices are required because a government body or corporation wants to take action that can affect individuals and the public at large.

When the government is about to change your life, or your property or assets are about to be taken, public notices in newspapers serve to alert those affected.

How much do legal notices cost?

The price for notices in the printed newspaper must include all costs for publishing the ad in print, on the newspaper’s website and to www. floridapublicnotices.com.

The public is well-served by notices published in a community newspaper.

--- SALES ---

NOTICE OF FORECLOSURE SALE IN THE COUNTY COURT OF THE TWELFTH JUDICIAL CIRCUIT IN AND FOR SARASOTA COUNTY, FLORIDA CIVIL DIVISION CASE NO. 2024-CC-000994 NC County Civil Division B Honorable Kennedy Legler VENICE ROOFING CONTRACTOR, INC. d/b/a THE COASTAL ROOFING, a Florida corporation, Plaintiff, v. DANIEL CONRAD GLEASON and BREANNE LEE GLEASON, as individuals. Defendants. NOTICE is hereby given that, pursuant to the Final Judgment of Foreclosure after Default entered on June 10, 2024 in the above-referenced matter pending in the County Court of the Twelfth Judicial Circuit in and for Sarasota County, Florida, the Clerk of Court will sell to the highest and best bidder for cash via the internet at www.sarasota.realforeclose.com at 9:00 a.m. on July 25, 2024 the following property described below, situated in Sarasota County, Florida, as set forth in the Final Judgment of Foreclosure after Default: THE PHYSICAL ADDRESS IS: 1431 Torino Street North Port, Florida 34287-3987 DESCRIPTION OF THE REAL PROPERTY: LOT 33 BLK 371 10TH ADD TO

NOTICE OF FORECLOSURE SALE IN THE CIRCUIT COURT FOR THE TWELFTH JUDICIAL CIRCUIT IN AND FOR SARASOTA COUNTY, FLORIDA CIVIL DIVISION Case No.: 2023-CA-007524-NC WILMINGTON SAVINGS FUND

SOCIETY FSB, not in its individual capacity but solely as trustee for Residential Mortgage Aggregation Trust, Plaintiff, v. GOLD INVESTOR LLC, a Nevada limited liability company; HAPPY TINY HOMES LLC, a Florida limited liability company d/b/a HAPPY HOME SERVICES, and all known or unknown subcontractors, sub-sub-contractors, and materialmen who may claim a right to file a lien; TARAS YURCHAK, an individual; UNKNOWN TENANT #1; et al., Defendants.

NOTICE IS HEREBY GIVEN pursuant to the Uniform Final Judgment of Mortgage Foreclosure dated March 19, 2024, entered in Case No. 2023-CA-007524-NC of the Circuit Court of Sarasota County, Florida, wherein WILMINGTON SAVINGS FUND SOCIETY FSB, not in its individual capacity but solely as trustee for Residential Mortgage Aggregation Trust,, is the Plaintiff, and GOLD INVESTOR LLC, a Nevada limited liability company; TARAS YURCHAK, an individual; UNKNOWN TENANT #1 n/k/a Yoandri Montes De Oca; and UNKNOWN TENANT #2 n/k/a Asha Thompson, are the Defendants, that the Clerk will sell to the highest and best bidder for cash online at www.sarasota.realforeclose.com on July 31, 2024, at 9:00 a.m., the following described property as set forth in said Final Judgment: LOT 15, PAULSEN PLACE,

ACCORDING TO THE MAP OR PLAT THEREOF, AS RECORDED IN PLAT BOOK 19, PAGE(S) 41 AND 41a, OF THE PUBLIC RECORDS OF SARASOTA COUNTY, FLORIDA. a/k/a 201 Winson Avenue, Englewood, FL 34223 **ANY PERSON CLAIMING AN INTEREST IN THE SURPLUS FROM THE SALE, IF ANY, OTHER THAN THE PROPERTY OWNER AS OF THE DATE OF LIS PENDENS MUST FILE A CLAIM WITHIN SIXTY (60) DAYS AFTER THE SALE. ** If you are a person with a disability who needs any accommodation in order to participate in this proceeding, you are entitled, at no cost to you, to the provision of certain assistance. Please contact the Sarasota County Jury Office, P.O. Box 3079, Sarasota, Florida 34230-3079, (941)861-7400, at least seven (7) days before your scheduled court appearance, or immediately upon receiving this notification if the time before the scheduled appearance is less than seven (7) days; if you are hearing or voice impaired, call 711. Dated: June 18, 2024. /s/ Gerald D. Davis GERALD D. DAVIS Florida Bar No. 764698 gdavis@trenam.com bshepard@trenam.com ohoeppner@trenam.com TRENAM, KEMKER, SCHARF, BARKIN, FRYE, O’NEILL & MULLIS, P.A. 200 Central Avenue, Suite 1600 St. Petersburg, FL 33701 Tel: (727) 896-7171 Attorneys for Wilmington Savings Fund Society FSB, not in its individual capacity, but solely as trustee for Residential Mortgage Aggregation Trust June 21, 28, 2024 24-01262S FIRST INSERTION

NOTICE OF FORECLOSURE SALE IN THE CIRCUIT COURT FOR THE TWELFTH JUDICIAL CIRCUIT IN AND FOR SARASOTA COUNTY, FLORIDA

CIVIL DIVISION Case No.: 23-CA-007476-NC WILMINGTON SAVINGS FUND

SOCIETY FSB, not in its individual capacity but solely as trustee for Residential Mortgage Aggregation Trust, Plaintiff, v. GOLD INVESTOR LLC, a Nevada limited liability company; TARAS YURCHAK, an individual; UNKNOWN TENANT #1; UNKNOWN TENANT #2; and ALL UNKNOWN PARTIES CLAIMING INTERESTS BY, THROUGH, UNDER OR AGAINST A NAMED DEFENDANT TO THIS ACTION, OR HAVING OR CLAIMING TO HAVE ANY RIGHT, TITLE OR INTEREST IN THE PROPERTY HEREIN DESCRIBED, Defendants.

NOTICE IS HEREBY GIVEN pursuant to the Uniform Final Judgment of Mortgage Foreclosure dated March 19, 2024, entered in Case No. 23-CA007476-NC of the Circuit Court of Sarasota County, Florida, wherein WILMINGTON SAVINGS FUND

SOCIETY FSB, not in its individual capacity but solely as trustee for Residential Mortgage Aggregation Trust,, is the Plaintiff, and GOLD INVESTOR LLC, a Nevada limited liability company; TARAS YURCHAK, an individual; UNKNOWN TENANT #1 n/k/a Yoandri Montes De Oca; and UNKNOWN TENANT #2 n/k/a Asha Thompson, are the Defendants, that the Clerk will sell to the highest and best bidder for cash online at www.sarasota.realforeclose.com on July 31, 2024, at 9:00 a.m., the following described property as set forth in said Final Judgment: LOT 12, PAULSEN PLACE, ACCORDING TO THE MAP OR PLAT THEREOF, AS RECORDED IN PLAT BOOK 19, PAGE(S) 41 AND 41a, OF THE PUBLIC RECORDS OF SARASOTA COUNTY,

JUNE 21 - JUNE 27, 2024 BUSINESS OBSERVER SARASOTA COUNTY 20
PORT CHARLOTTE
owner
the date
the Lis Pendens,
file
claim
same
Clerk
60
foreclosure sale.
person
a disabil-
accommodation in
participate
this proceeding,
entitled,
no cost to you, to the provision of certain assistance. Please contact the Sarasota County Jury Office, P.O. Box 3079, Sarasota, Florida 34230-3079, (941)861-7400, at least seven (7) days before your scheduled court appearance, or immediately upon receiving this notification if the time before the scheduled appearance is less than seven (7) days; if you are hearing or voice impaired, call 711. DATED this 14th day of June 2024. ADAMS AND REESE LLP 100 North Tampa Street, Suite 4000 Tampa, Florida 33602 Tel: 813.402-2880 | Fax: 813.402.2887 Primary: mason.pokorny@arlaw.com Secondary: madeline.algarin@arlaw.com Counsel for Plaintiff By: /s/ Mason A. Pokorny Mason A. Pokorny Florida Bar No. 106592 June 21, 28, 2024 24-01242S
Parcel ID: 0980037133 Any person who is claiming an interest in the surplus, if any, resulting from the foreclosure sale, other than the property
as of
of
must
a
on
with the
of Court within
days after the
If you are a
with
ity who needs any
order to
in
you are
at
FLORIDA. a/k/a 231 Winson Avenue, Englewood, FL 34223 **ANY PERSON CLAIMING AN INTEREST IN THE SURPLUS FROM THE SALE, IF ANY, OTHER THAN THE PROPERTY OWNER AS OF THE DATE OF LIS PENDENS MUST FILE A CLAIM WITHIN SIXTY (60) DAYS AFTER THE SALE. ** If you are a person with a disability who needs any accommodation in order to participate in this proceeding, you are entitled, at no cost to you, to the provision of certain assistance. Please contact the Sarasota County Jury Office, P.O. Box 3079, Sarasota, Florida 34230-3079, (941)861-7400, at least seven (7) days before your scheduled court appearance, or immediately upon receiving this notification if the time before the scheduled appearance is less than seven (7) days; if you are hearing or voice impaired, call 711. Dated: June 18, 2024. /s/ Gerald D. Davis GERALD D. DAVIS Florida Bar No. 764698 gdavis@trenam.com bshepard@trenam.com ohoeppner@trenam.com
KEMKER, SCHARF, BARKIN, FRYE, O’NEILL & MULLIS, P.A.
Central Avenue, Suite 1600 St. Petersburg, FL 33701 Tel: (727) 896-7171
for Wilmington Savings Fund Society FSB, not in its individual capacity, but solely as trustee for Residential Mortgage Aggregation Trust June 21, 28, 2024 24-01261S
TRENAM,
200
Attorneys
FIRST INSERTION FIRST INSERTION VIEW NOTICES ONLINE AT Legals.BusinessObserverFL.com To publish your legal notice email: legal@businessobserverfl.com
LV18237_V28

NOTICE OF ACTION TERMINATION OF PARENTAL RIGHTS IN THE CIRCUIT COURT OF THE 12TH JUDICIAL CIRCUIT IN AND FOR SARASOTA COUNTY CASE NO. 2023DP000350NC IN THE INTEREST OF: P.C.Y. 5/27/2023 Minor Child TO: Kelsey Yoder, address unknown YOU ARE HEREBY NOTIFIED that the State of Florida, Department of Children and Families, has filed a Petition to terminate your parental rights and permanently commit the following child for adoption: P.C.Y. born on 5/27/2023. You are hereby commanded to appear on July 22, 2024, at 2:30 PM before the Honorable Andrea McHugh at the Sarasota Courthouse, 2000 Main Street Courtroom 6B Sarasota, Fl 34237, for an ADVISORY HEARING. FAILURE TO PERSONALLY APPEAR AT THIS ADVISORY HEARING CONSTITUTES CONSENT TO THE TERMINATION OF PARENTAL RIGHTS OF THIS CHILD. IF YOU

NOTICE OF ACTION IN THE CIRCUIT COURT OF THE TWELFTH JUDICIAL CIRCUIT IN AND FOR SARASOTA COUNTY, FLORIDA CIVIL DIVISION CASE NO.: 2023-CA-006545-NC

KONSANTINOU ROBINSON, Plaintiff, vs. LORETTA PAYTON, ARCADIA MOORE, LETKEMANN, RONALD ALVIN MOORE, SUSAN DAVIS, UNKNOWN HEIRS OF MELVIN DAVIS, Defendants.

NOTICE is hereby given that a civil action commenced on or about August 31, 2023 and is now pending as case number 2023-CA-006545-NC in the Circuit Court in the State of Florida, County of Sarasota.

The name of the unserved party to the action is: Rhiannon Davis

4306 S. Mozart Street, Apt 1 Chicago, IL 60632 and the nature of the proceeding is a Partition of Real Property. This notice shall be published once each week for two consecutive weeks in the Business Observer publication.

Each defendant is required to serve written defenses to the Complaint on plaintiff’s attorney, Stephen K. Hachey, Esq., whose address is P.O. Box 429, Riverview, FL 33569, on or before the 30th day after the first publication of this Notice, and to file the original of

NOTICE OF ACTION IN THE CIRCUIT COURT OF THE TWELFTH JUDICIAL CIRCUIT IN AND FOR SARASOTA COUNTY, FLORIDA CIVIL DIVISION CASE NO.: 2023-CA-006545-NC KONSANTINOU ROBINSON, Plaintiff, vs. LORETTA PAYTON, ARCADIA MOORE, LETKEMANN, RONALD ALVIN MOORE, SUSAN DAVIS, UNKNOWN HEIRS OF MELVIN DAVIS, Defendants. NOTICE is hereby given that a civil action commenced on or about August 31, 2023 and is now pending as case number 2023-CA-006545-NC in the Circuit Court in the State of Florida, County of Sarasota. The name of the unserved party to the action is: Minnie Davis 2730 State Street, Apt 203 Chicago, IL 60616 and the nature of the proceeding is a Partition of Real Property. This notice shall be published once each week for two consecutive weeks in the Business Observer publication. Each defendant is required to serve written defenses to the Complaint on plaintiff’s attorney, Stephen K. Hachey, Esq., whose address is P.O. Box 429, Riverview, FL 33569, on or before the 30th day after the first publication of this Notice, and to file the original of

FAIL TO APPEAR ON THE DATE AND TIME SPECIFIED, YOU MAY LOSE ALL LEGAL RIGHTS AS A PARENT TO THE CHILD NAMED IN THIS NOTICE.

If you are a person with a disability who needs any accommodation in order to participate in this proceeding, you are entitled, at no cost to you, to the provision of certain assistance. Please contact SARASOTA COUNTY JURY OFFICE: P.O. BOX 3079 SARASOTA, FL 34230-3079; TELEPHONE: (941) 861-7400, at least 7 days before your scheduled court appearance, or immediately upon receiving this notification if the time before the scheduled appearance is less than 7 days; if you are hearing or voice impaired, call 711. WITNESS, my hand as Clerk of said Court and the Seal thereof, this day of 6/17/2024, 2024. Karen E. Rushing, Clerk of Circuit Court Sarasota County, Florida By: (SEAL) /s/ Deputy Clerk June 21, 28; July 5, 12, 2024 24-01248S

the defenses with the clerk of this court either before service on plaintiff’s attorney or immediately thereafter. If a defendant fails to do so, a default will be entered against that defendant for the relief demanded in the complaint or petition. If you are a person with a disability who needs any accommodation in order to participate in this proceeding, you are entitled, at no cost to you, to the provision of certain assistance. Please contact the Sarasota County Jury Office, P.O. Box 3079, Sarasota, Florida 34230-3079, (941)861-7400, at least seven (7) days before your scheduled court appearance, or immediately upon receiving this notification if the time before the scheduled appearance is less than seven (7) days; if you are hearing or voice impaired, call 711.

WITNESS my hand and the seal of said court at Sarasota County, Florida on the 14 day of June 2024.

KAREN E. RUSHING AS CLERK OF THE COURT (SEAL) BY Glen Kopinsky As Deputy Clerk /s/ Stephen K. Hachey Stephen K. Hachey, Esq. Florida Bar No.: 15322

Law Offices of Stephen K. Hachey, P.A. P.O. Box 429 Riverview, FL 33569 Phone: 813-549-0096 E-service: eservice@hacheylawpa.com June 21, 28, 2024 24-01244S

the defenses with the clerk of this court either before service on plaintiff’s attorney or immediately thereafter. If a defendant fails to do so, a default will be entered against that defendant for the relief demanded in the complaint or petition. If you are a person with a disability who needs any accommodation in order to participate in this proceeding, you are entitled, at no cost to you, to the provision of certain assistance. Please contact the Sarasota County Jury Office, P.O. Box 3079, Sarasota, Florida 34230-3079, (941)861-7400, at least seven (7) days before your scheduled court appearance, or immediately upon receiving this notification if the time before the scheduled appearance is less than seven (7) days; if you are hearing or voice impaired, call 711.

WITNESS my hand and the seal of said court at Sarasota County, Florida on the 14 day of June 2024.

KAREN E. RUSHING AS CLERK OF THE COURT (SEAL) BY Glen Kopinsky As Deputy Clerk /s/ Stephen K. Hachey Stephen K. Hachey, Esq. Florida Bar No.: 15322

Law Offices of Stephen K. Hachey, P.A. P.O. Box 429 Riverview, FL 33569 Phone: 813-549-0096 E-service: eservice@hacheylawpa.com June 21, 28, 2024 24-01243S

NOTICE OF FORECLOSURE SALE

PURSUANT TO CHAPTER 45 IN THE CIRCUIT COURT OF THE TWELFTH JUDICIAL CIRCUIT IN AND FOR SARASOTA COUNTY, FLORIDA CASE NO.: 2022 CA 003159 ON Q FINANCIAL, LLC, Plaintiff, VS. UNKNOWN HEIRS, BENEFICIARIES, DEVISEES, SURVIVING SPOUSE, GRANTEES,; CHRISTOPHER C. JOHNSON; LAYLA R. GARCIA; ANTHONY W. JOHNSON; BRAYDEN I. JOHNSON, A MINOR CHILD UNDER THE CARE OF CHRISTOPHER C.; ANY AND ALL UNKNOWN PARTIES CLAIMING BY, THROUGH, UNDER AND AGAINST THE HEREIN NAMED INDIVIDUAL DEFENDANT(S) WHO ARE NOT KNOWN TO BE DEAD OR ALIVE, WHETHER SAID UNKNOWN PARTIES MAY CLAIM AN INTEREST AS SPOUSES, HEIRS, DEVISEES,

GRANTEES, OR OTHER CLAIMANTS Defendant(s). NOTICE IS HEREBY GIVEN that sale will be made pursuant to an Order or Final Judgment. Final Judgment was awarded on 02/15/2024 in Civil Case No. 2022 CA 003159, of the Circuit Court of the TWELFTH Judicial Circuit in and for Sarasota County, Florida, wherein, ON Q FINANCIAL, LLC is the Plaintiff, and UNKNOWN HEIRS, BENEFICIARIES, DEVISEES, SURVIVING SPOUSE, GRANTEES,; CHRISTOPHER C. JOHNSON; LAYLA R. GARCIA; ANTHONY W. JOHNSON; BRAYDEN I. JOHNSON, A MINOR CHILD UNDER THE CARE OF CHRISTOPHER C.; ANY AND ALL UNKNOWN PARTIES CLAIMING BY, THROUGH, UNDER AND AGAINST THE HEREIN NAMED INDIVIDUAL DEFENDANT(S) WHO ARE NOT KNOWN TO BE DEAD OR ALIVE, WHETHER SAID UNKNOWN

PARTIES MAY CLAIM AN INTEREST AS SPOUSES, HEIRS, DEVISEES, GRANTEES, OR OTHER CLAIMANTS are Defendants.

The Clerk of the Court, Karen E. Rushing will sell to the highest bidder for cash at www.sarasota.realforeclose. com on August 30, 2024 at 09:00:00

AM EST the following described real property as set forth in said Final Judgment, to wit: LOT 17, BLOCK 575, 18TH ADDITION TO PORT CHARLOTTE SUBDIVISION, ACCORDING TO THE PLAT THEREOF, RECORDED IN PLAT BOOK 14, PAGE 6, OF THE PUBLIC RECORDS OF SARASOTA COUNTY, FLORIDA

Any person claiming an interest in the surplus from the sale, if any, other than the property owner as of the date of the lis pendens must file a claim before the clerk reports the surplus as unclaimed. If you are a person with a disability who needs any accommodation

SUBSEQUENT INSERTIONS

SECOND INSERTION

NOTICE OF PUBLIC SALE

in order to participate in this proceeding, you are entitled, at no cost to you, to the provision of certain assistance. Please contact the Sarasota County Jury Office, P.O. Box 3079, Sarasota, Florida 34230-3079, (941)861-7400, at least seven (7) days before your scheduled court appearance, or immediately upon receiving this notification if the time before the scheduled appearance is less than seven (7) days; if you are hearing or voice impaired, call 711. Dated this 18 day of June, 2024. ALDRIDGE PITE, LLP Attorney for Plaintiff 5300 West Atlantic Avenue Suite 303 Delray Beach, FL 33484 Telephone: 561-392-6391 Facsimile: 561-392-6965 By: Zachary Ullman FBN: 106751 Primary E-Mail: ServiceMail@aldridgepite.com 1100-669B June 21, 28, 2024 24-01268S

Notice is hereby given that on 6/28/2024 at 10:30 am, the following mobile home will be sold at public auction pursuant to F.S. 715.109. 1987 RAVE HS 1XXPM0S22H1000603 . Last Tenants: JON PHILIP MARSTON and all unknown parties beneficiaries heirs . Sale to be at RAMBLER’S REST LLC AND DIBH RAMBLER’S REST LLC, 1300 N RIVER ROAD, VENICE, FL 34293. 813241-8269. June 14, 21, 2024 24-01211S SECOND INSERTION NOTICE OF PUBLIC SALE

400 LAKE DRIVE, NOKOMIS, FL 34275. 813-282-6754. June 14, 21, 2024 24-01212S --- PUBLIC SALES ---

SECOND INSERTION

THIRD INSERTION

NOTICE OF ACTION TERMINATION OF PARENTAL RIGHTS IN THE CIRCUIT COURT OF THE 12TH JUDICIAL CIRCUIT IN AND FOR SARASOTA COUNTY CASE NO. 2023DP000074NC IN THE INTEREST OF: N.W. 1/26/2023

Minor Child TO: William Weinrich, Address Unknown YOU ARE HEREBY NOTIFIED that the State of Florida, Department of Children and Families, has filed a Petition to terminate your parental rights and permanently commit the following child for adoption: N.W. born on 1/26/2023. You are hereby commanded to appear on July 17, 2024, at 10:00 AM before the Honorable Andrea McHugh at the Sarasota Courthouse, 2000 Main Street Courtroom 6B Sarasota, Fl 34237, for an ADVISORY HEARING. FAILURE TO PERSONALLY APPEAR AT THIS ADVISORY HEARING CONSTITUTES CONSENT TO THE TERMINATION OF PARENTAL RIGHTS OF THIS CHILD (OR CHIL-

NOTICE OF ACTION IN THE COUNTY COURT OF THE TWELFTH JUDICIAL CIRCUIT IN AND FOR SARASOTA COUNTY, FLORIDA

CIVIL ACTION

Case No. 2024-CC-002100-NC

JOSEPH GUARINO, JR., as Personal Representative of the ESTATE OF JOSEPH GUARINO, SR., Plaintiff, v.

MICHAEL J. FAZAKERLEY, deceased; MARILYN V. FAZAKERLEY, deceased; CRAIG FAZAKERLEY; AMY WERSCHEM; SHONDRA PRIMMER; LESLI HOUGHTON; CHRIS BAADE; JUANITA J. CRANK; and the respective unknown spouses, heirs, devisees, grantees, creditors and other parties claiming by, through, under or against them, if alive, and if any of the named abovereferenced defendants are dead, any heirs, devisees, grantees, assignees, lienors, creditors, trustees, or other persons or entities claiming to have any right, title or interest in and to the res which constitutes the subject matter of this action, Defendants.

To: MICHAEL J. FAZAKERLEY, deceased; MARILYN V. FAZAKERLEY, deceased; CRAIG FAZAKERLEY; and the respective unknown spouses, heirs, devisees, grantees, creditors and other parties claiming by, through, under or against them, if alive, and if any of the named above-referenced defendants are dead, any heirs, devisees, grantees, assignees, lienors, creditors, trustees, or other persons or entities claiming to have any right, title or interest in and to the res which constitute the subject matter of this action, YOU ARE NOTIFIED that an action for declaratory judgment establishing

DREN). IF YOU FAIL TO APPEAR ON THE DATE AND TIME SPECIFIED, YOU MAY LOSE ALL LEGAL RIGHTS AS A PARENT TO THE CHILD OR CHILDREN NAMED IN THIS NOTICE. If you are a person with a disability who needs any accommodation in order to participate in this proceeding, you are entitled, at no cost to you, to the provision of certain assistance. Please contact SARASOTA COUNTY JURY OFFICE: P.O. BOX 3079 SARASOTA, FL 34230-3079; TELEPHONE: (941) 861-7400, at least 7 days before your scheduled court appearance, or immediately upon receiving this notification if the time before the scheduled appearance is less than 7 days; if you are hearing or voice impaired, call 711. WITNESS, my hand as Clerk of said Court and the Seal thereof, this day of 5/31/2024.

Karen E. Rushing, Clerk of Circuit Court Sarasota County, Florida By: (SEAL) /s/ Deputy Clerk June 7, 14, 21, 28, 2024 24-01157S

Plaintiff is the owner of the followingdescribed personal property in Sarasota County, Florida: 1981 Glenhill double-wide mobile home, VIN’s FLFL2AB08793394 and FLFL2BB08793394, Title Nos. 19797201 and 19797203 has been filed against you and you are required to serve a copy of your written defenses, if any, to it on TAMSEN HAYS, Esq. of Wotitzky, Wotitzky, Ross & Young, P.A., the Plaintiff’s attorney, whose address is 1107 West Marion Avenue, Unit 111, Punta Gorda, Florida 33950 on or before the 1 day of July, 2024, and file the original with the Clerk of this Court either before service on the Plaintiff’s attorney or immediately thereafter; otherwise a Default will be entered against you for the relief demanded in the Complaint or Petition. If you are a person with a disability who needs any accommodation in order to participate in this proceeding, you are entitled, at no cost to you, to the provision of certain assistance. Please contact the Sarasota County Jury Office, P.O. Box 3079, Sarasota, Florida 34230-3079, (941)861-7400, at least seven (7) days before your scheduled court appearance, or immediately upon receiving this notification if the time before the scheduled appearance is less than seven (7) days; if you are hearing or voice impaired, call 711.

Dated this May 24, 2024. KAREN E. RUSHING Clerk of Courts (SEAL) BY: G. Kopinsky Deputy Clerk Tamsen Hays, Esq. Wotitzky, Wotitzky, Ross & Young, P.A. 1107 West Marion Avenue, Unit 111 Punta Gorda, FL 33950 May 31; June 7, 14, 21, 2024 24-01109S

NOTICE OF SALE IN THE CIRCUIT COURT OF THE TWELFTH JUDICIAL CIRCUIT, IN AND FOR SARASOTA COUNTY, FLORIDA CASE NO.: 2023 CA 004609 NC ARC HOME LLC, Plaintiff, vs. AMY N. KOWALSKI A/K/A AMY NICOLE KOWALSKI, ET. AL., Defendants.

NOTICE IS GIVEN that, in accordance with the Uniform Final Judgment of Mortgage Foreclosure entered on April 25, 2024 in the above-styled cause, Karen E. Rushing, Sarasota county clerk of court shall sell to the highest and best bidder for cash on July 9, 2024 at 9:00 A.M., at www.sarasota.realforeclose. com, the following described property: UNIT 38-C-7, RAMBLEWOOD ACRES, A CONDOMINIUM, ACCORDING TO THE DECLARATION OF CONDOMINIUM THEREOF, AS RECORDED IN OFFICIAL RECORDS BOOK 1044, PAGE 1842, AND ALL AMENDMENTS THERETO, AND AS PER PLAT THERE OF, RECORDED IN CONDOMINIUM BOOK 8, PAGE 4, OF THE PUBLIC RECORDS OF SARASOTA COUNTY, FLORIDA, TOGETHER WITH AN UNDIVIDED INTEREST IN THE COMMON ELEMENTS APPURTENANT THERETO.

NOTICE OF ACTION IN THE CIRCUIT COURT OF THE TWELFTH JUDICIAL CIRCUIT IN AND FOR SARASOTA COUNTY, FLORIDA CASE NO. 2024 CA 002331 NC Jean Chambers f/k/a Jean K. Pasqualone, An Individual, Plaintiff, vs. Paul M. Pasqualone, Sr., An Individual, Defendant. TO: PAUL M. PASQUALONE, SR., an individual ADDRESS UNKNOWN YOU ARE NOTIFIED that an action for enforcement of judgment and to quiet title on the following described property: Week No. 38, Unit Number 211 and Week No. 39, Unit Number 211, ASEA CLUB V, a Condominium according to the Declaration of Condominium thereof as recorded in Official Records Book 1422, Pages 293, et seq, and amendments thereto, and according to the Plat thereof recorded in Condominium Book 16, Page 2, et seq, of the Public Records of Sarasota County, Florida. has been filed against you and you are required to serve a copy of your written defenses, if any, to it on NICK ROKNICH, III, ESQ. and NICK ROKNICH, IV, ESQ., Plaintiff’s attorneys, whose address is 1800 Second

Property Address: 3358 RAMBLEWOOD PL., SARASOTA, FL 34237 ANY PERSON CLAIMING AN INTEREST IN THE SURPLUS FROM THE SALE, IF ANY, OTHER THAN THE PROPERTY OWNER AS OF THE DATE OF THE LIS PENDENS MUST FILE A CLAIM BEFORE THE CLERK REPORTS THE SURPLUS AS UNCLAIMED If you are a person with a disability who needs any accommodation in order to participate in this proceeding, you are entitled, at no cost to you, to the provision of certain assistance. Please contact the Sarasota County Jury Office, P.O. Box 3079, Sarasota, Florida 34230-3079, (941)861-7400, at least seven (7) days before your scheduled court appearance, or immediately upon receiving this notification if the time before the scheduled appearance is less than seven (7) days; if you are hearing or voice impaired, call 711. Dated: June 11, 2024 /s/ Kelley L. Church Kelley L. Church, Esquire Florida Bar No.: 100194 Quintairos, Prieto, Wood & Boyer, P.A. 255 S. Orange Ave., Ste. 900 Orlando, FL 32801-3454 (855) 287-0240 (407) 872-6012 Facsimile E-mail: servicecopies@qpwblaw.com E-mail: kchurch@qpwblaw.com Attorney for Plaintiff FL-002302-23 June 14, 21, 2024 24-01219S

Street, Suite 854, Sarasota, Florida 34236, within thirty (30) days of the first publication of this Notice, and file the original with the Clerk of this Court either before service on the Plaintiff’s attorney or immediately thereafter; otherwise a default will be entered against you for

JUNE 21 - JUNE 27, 2024 BusinessObserverFL.com SARASOTA COUNTY 21
the relief demanded in the Complaint
Petition.
you are a person with a disability
needs any accommodation in order to participate in this proceeding,
entitled,
no cost to you, to
provision
certain assistance. Please contact the Sarasota County Jury Of-
Box 3079, Sarasota, Florida 34230-3079, (941)861-7400, at least seven (7) days before your scheduled court appearance, or immediately upon receiving this notification if the time before the scheduled appearance is less than seven (7) days; if you are hearing or voice impaired, call 711. DATED on May 21, 2024. KAREN E. RUSHING Clerk of the Circuit Court (SEAL) By G. Kopinsky As Deputy Clerk NICK ROKNICH, III, ESQ. Florida Bar Number: 501573 NICK ROKNICH, IV, ESQ. Florida Bar Number: 1028324 Plaintiff’s Attorneys ROKNICH LAW FIRM, P.A. 1800 Second Street, Suite 854 Sarasota, Florida 34236 May 31; June 7, 14, 21, 2024 24-01100S FOURTH INSERTION
or
If
who
you are
at
the
of
fice, P.O.
FOURTH INSERTION
--- SALES / ACTIONS ---
pursuant to F.S. 715.109. 1969 BUDDY HS BF1328C
Last Tenants: CHARLES GEORGE SOWA
DORIS FRANCES BRADLEY
all unknown parties beneficiaries heirs
Sale to be at
LAKE VILLAGE
Notice is hereby given that on 6/28/2024 at 10:30 am, the following mobile home will be sold at public auction
.
AND
and
.
MHC
LLC,
--- ACTIONS --FIRST INSERTION
FIRST INSERTION FIRST INSERTION FIRST INSERTION LV10177 legal@businessobserverfl.com E-mail your Legal Notice SAVE TIME

NOTICE TO CREDITORS OF FORMAL ADMINISTRATION IN THE CIRCUIT COURT FOR SARASOTA COUNTY, FLORIDA

PROBATE DIVISION

File No. 2024-CP-001888-SC IN RE: ESTATE OF RONALD EMANUEL KRAMER, deceased

The administration of the estate of RONALD EMANUEL KRAMER, deceased, whose date of death was June 15, 2023, is pending before the Circuit Court for Sarasota County, Florida, Probate Department, located at 4000 South Tamiami Trail, Venice, Florida 34293. The name and address of the Personal Representative and the Personal Representative’s attorney are set forth below.

NOTICE TO CREDITORS (Summary Administration) IN THE CIRCUIT COURT FOR SARASOTA COUNTY, FLORIDA PROBATE DIVISION File No. 2024 CP 002765 NC Division PROBATE IN RE: ESTATE OF SUE A. LAROSA Deceased.

TO ALL PERSONS HAVING CLAIMS OR DEMANDS AGAINST THE ABOVE ESTATE:

You are hereby notified that an Order of Summary Administration has been entered in the estate of SUE A. LAROSA, deceased, File Number 2024 CP 002765 NC, by the Circuit Court for SARASOTA County, Florida, Probate Division, the address of which is P.O. Box 3079, Sarasota, FL 34230-3079; that the decedent’s date of death was May 6, 2024; that the approximate value of the estate is $67,500, and that the names and addresses of those to whom

NOTICE TO CREDITORS IN THE CIRCUIT COURT FOR THE TWELFTH JUDICIAL CIRCUIT IN AND FOR SARASOTA COUNTY, FLORIDA PROBATE DIVISION CASE NO. 2024 CP 003017 NC IN RE: THE ESTATE OF VITO T. NAVARRA, Deceased. TO ALL PERSONS HAVING CLAIMS OR DEMANDS AGAINST THE ABOVE ESTATE OR TRUST: You are hereby notified that a Notice of Trust has been filed with Clerk of the Circuit Court for Sarasota County, Florida, Probate Division; the address of which is 2000 Main Street, Sarasota, FL 34237, that the decedent’s date of death was August 16, 2023 and that on that date, decedent had a revocable trust, to wit: THE VITO T. NAVARRA REVOCABEL LIVING TRUST DATED APRIL 11, 2023, which is a trust described in Florida Statutes, Section 733.707(3),

SECOND INSERTION

NOTICE OF PUBLIC SALE

Notice is hereby given that on 6/28/2024 at 10:30 am, the following mobile home will be sold at public auction pursuant to F.S. 715.109. 1969 GALA HS 69244170A & 69244170B . Last Tenants: RONALD DEGREGORIO AND JACQUELINE DEGREGORIO AKA J.M. DEGREGORIO and all unknown parties beneficiaries heirs . Sale to be at MHC LAKE VILLAGE LLC, 400 LAKE DRIVE, NOKOMIS, FL 34272. 813-282-6754. June 14, 21, 2024 24-01213S

SECOND INSERTION

All creditors of the decedent and other persons having claims or demands against the estate on whom a copy of this notice is required to be served must file their claims with this court WITHIN THE LATER OF THREE (3) MONTHS AFTER THE TIME OF THE FIRST PUBLICATION OF THIS NOTICE OR THIRTY (30) DAYS AFTER THE DATE OF SERVICE OF A COPY OF THIS NOTICE ON THEM. All other creditors of the decedent and other persons having claims or demands against decedent’s estate must file their claims with this court WITHIN THREE (3) MONTHS AFTER THE DATE OF THE FIRST PUBLICATION OF THIS NOTICE. ALL CLAIMS NOT FILED WITHIN THE TIME PERIODS SET FORTH IN SECTION 733.702 OF THE FLORIDA

SECOND INSERTION

it has been assigned by such order are: Name Address Robert C. Wisenall 1064 Heavy Weather Way Pensacola, FL 32507

John E. Wisenall P.O. Box 318 Morrice, MI 48857

ALL INTERESTED PERSONS ARE NOTIFIED THAT:

All creditors of the estate of the decedent and persons having claims or demands against the estate of the decedent other than those for whom provision for full payment was made in the Order of Summary Administration must file their claims with this court WITHIN THE TIME PERIODS SET FORTH IN FLORIDA STATUTES SECTION 733.702. ALL CLAIMS AND DEMANDS NOT SO FILED WILL BE FOREVER BARRED. NOTWITHSTANDING ANY OTHER APPLICABLE TIME PERIOD, ANY CLAIM FILED TWO

SECOND INSERTION

the Florida Probate Code, and is liable for the expenses of the administration of the decedent’s estate and enforceable claims of the decedent’s creditors to the extend the decedent’s estate is insufficient to pay them, as provided in Florida Statutes Section 733.607(2), the Trustee’s name and address is : Ann Marie Fields, whose address is 79 Baltusrol Way, Far Hills, NJ 07931. ALL INTERESTED PERSONS ARE NOTIFIED THAT: All creditors of the decedent and other persons having claims or demands against the decedent’s estate must file their claims within this Court WITHIN THREE (3) MONTHS AFTER THE DATE OF THE FIRST PUBLICATION OF THIS NOTICE and provide a copy to said Trustee at the address above. ALL CLAIMS NOT FILEDWITHIN THE TIME PERIODS SET FORTH IN SECTION 733.702 OF THE FLORIDA PROBATE CODE WILL BE FOREVER BARRED.

SECOND INSERTION

NOTICE OF PUBLIC SALE

Notice is hereby given that on 6/28/2024 at 10:30 am, the following mobile home will be sold at public auction pursuant to F.S. 715.109. 1971 FEST HS 32M102TS249 . Last Tenants: BRIAN BENEDICT, JOAN L MURPHY, AND JANET EILEEN DENSMORE and all unknown parties beneficiaries heirs . Sale to be at MHC LAKE VILLAGE LLC, 400 LAKE DRIVE, NOKOMIS, FL 34275. 813282-6754. June 14, 21, 2024 24-01214S

PROBATE CODE WILL BE FOREVER BARRED.

The date of the first publication of this Notice is June 14, 2024.

Personal Representative: Steven Chaikin 97 Haas Road Basking Ridge, New Jersey 07920

Attorney for the

Personal Representative:

Anne E. Moore, FL Bar #110621

Anne E. Moore PLLC 3579 S. Access Rd., Ste. A Englewood, FL 34224

Tel: (941) 662-5750

Fax: (941) 237-5200

Primary Email: anne@attorneyanne.com

Secondary Email: staff@attorneyanne.com June 14, 21, 2024 24-01195S

(2) YEARS OR MORE AFTER THE DECEDENT’S DATE OF DEATH IS BARRED.

The date of first publication of this Notice is June 14, 2024.

Person Giving Notice: Robert C. Wisenall 1064 Heavy Weather Way Pensacola, FL 32507

Attorney for Person Giving Notice

FEDERICO MOJICA, ESQUIRE

Attorney for Petitioner

Florida Bar Number: 0124187

LAW OFFICE OF ANNETTE Z.P. ROSS, PL 871 Venetia Bay Blvd., Ste. 300B Venice, FL 34285

Telephone: (941) 480-1948

Fax: (941) 480-9277

E-Mail: federico@arosslawfirm.com

Secondary E-Mail: shawn@arosslawfirm.com

June 14, 21, 2024 24-01190S

NOTWITHSTANDING THE TIME PERIODS SET FORTH ABOVE, ANY CLAIM FILED TWO (2) YEARS OR MORE AFTER THE DECEDENT’S DATE OF DEATH IS BARRED.

The date of first publication of this notice is June 14, 2024.

Person Giving Notice

ANN MARIE FIELDS, Trustee of the Vito T. Navarra Revocable Living Trust dated April 11, 2023 79 Baltusrol Way, Far Hills, NJ 07931

Attorney for Person Giving Notice:

Hillary Kessler, Esq.

Attorney for Trustee

Florida Bar Number: 1024533

Bauer Gutierrez Borbon PLLC 814 Ponce De Leon Blvd, Ste 210 Coral Gables, FL 33134-3032

Telephone: (305) 340-5959

Fax: (786) 464-0437

Email: Hillary@bgblawgroup.com June 14, 21, 2024 24-01197S

SECOND INSERTION

NOTICE TO CREDITORS IN THE CIRCUIT COURT FOR SARASOTA COUNTY, FLORIDA PROBATE DIVISION

File No. 2024 CP 2623 NC IN RE: ESTATE OF REBA RAINE Deceased.

The administration of the estate of REBA RAINE, deceased, whose date of death was April 6, 2024, is pending in the Circuit Court for SARASOTA County, Florida, Probate Division, the address of which is P.O. Box 3079, Sarasota, FL 34230-3079. The names and addresses of the personal representative and the personal representative’s attorney are set forth below.

All creditors of the decedent and other persons having claims or demands against decedent’s estate on whom a copy of this notice is required to be served must file their claims with this court ON OR BEFORE THE LATER OF 3 MONTHS AFTER THE TIME OF THE FIRST PUBLICATION OF THIS NOTICE OR 30 DAYS AFTER THE DATE OF SERVICE OF A COPY OF THIS NOTICE ON THEM.

All other creditors of the decedent and other persons having claims or demands against decedent’s estate must file their claims with this court WITHIN 3 MONTHS AFTER THE DATE OF THE FIRST PUBLICATION OF THIS NOTICE.

ALL CLAIMS NOT FILED WITHIN THE TIME PERIODS SET FORTH IN FLORIDA STATUTES SECTION 733.702 WILL BE FOREVER BARRED.

NOTWITHSTANDING THE TIME PERIODS SET FORTH ABOVE, ANY CLAIM FILED TWO (2) YEARS OR MORE AFTER THE DECEDENT’S DATE OF DEATH IS BARRED.

The date of first publication of this notice is June 14, 2024.

Personal Representative: EDWARD Z. KAPREILIAN 3416 S. Osprey Ave. Sarasota, Florida 34239

Attorney for Personal Representative: JOHN FERRARI, JR.

Attorney Florida Bar Number: 111132

Ferrari, Butler & Moneymaker, PLLC 2520 Tamiami Trail North, Suite 11 Nokomis, Florida 34275

Telephone: (941) 960-1676

Fax: (941) 296-8656

E-Mail: johnf@elderlegalfl.com

Secondary E-Mail: pollyb@elderlegalfl.com June 14, 21, 2024 24-01189S

SECOND INSERTION

NOTICE TO CREDITORS IN THE CIRCUIT COURT FOR SARASOTA COUNTY, FLORIDA

PROBATE DIVISION File No. 2024-CP-002778-NC IN RE: ESTATE OF JOHN PHILIP CALLIHAN, Deceased.

SECOND INSERTION

Notice:

Notice of Intent City of North Port, Sarasota County, Florida To Whom It May Concern:

Notice is hereby given pursuant to the provisions of Chapter 177, Florida Statutes, that Gran Place LLC, the property owner, intends to petition the City of North Port to vacate a portion of the 15foot platted Street Tree and Landscaping Easement located along the front lot line of Lot 29, Gran Place, as shown on Plat Book 55, Page 326 of the Public Records of Sarasota County, Florida. June 14, 21, 2024 24-01187S

SECOND INSERTION VENETIAN COMMUNITY DEVELOPMENT DISTRICT

NOTICE OF PUBLIC HEARING TO CONSIDER THE ADOPTION OF THE FISCAL YEAR 2024/2025 BUDGET(S); AND NOTICE OF REGULAR BOARD OF SUPERVISORS’ MEETING.

The Board of Supervisors (“Board”) of the Venetian Community Development District (“District”) will hold a public hearing on Monday, August 12, 2024 at 9:30 a.m. at the Venetian River Club, located at 502 Veneto Boulevard, North Venice, Florida 34275, for the purpose of hearing comments and objections on the adoption of the proposed budget(s) (“Proposed Budget”) of the District for the fiscal year beginning October 1, 2024, and ending September 30, 2025 (“Fiscal Year 2024/2025”). A regular board meeting of the District will also be held at that time where the Board may consider any other business that may properly come before it. A copy of the agenda and Proposed Budget may be obtained at the offices of the District Manager, 9530 Marketplace Road, Suite 206, Ft. Myers, Florida 33912, (239) 936-0913 (“District Manager’s Office”), during normal business hours.

The public hearing and meeting are open to the public and will be conducted in accordance with the provisions of Florida law. The public hearing and meeting may be continued to a date, time, and place to be specified on the record at the meeting and/or hearing. There may be occasions when Board Supervisors or District Staff may participate by speaker telephone.

Any person requiring special accommodations at this meeting and/or hearing because of a disability or physical impairment should contact the District Manager’s Office at least forty-eight (48) hours prior to the meeting and/or hearing. If you are hearing or speech impaired, please contact the Florida Relay Service by dialing 7-1-1, or 1-800-955-8771 (TTY) / 1-800-955-8770 (Voice), for aid in contacting the District Manager’s Office.

Each person who decides to appeal any decision made by the Board with respect to any matter considered at the public hearing or meeting is advised that person will need a record of proceedings and that accordingly, the person may need to ensure that a verbatim record of the proceedings is made, including the testimony and evidence upon which such appeal is to be based.

Belinda Blandon District Manager

07/09/2024

07/16/2024

June 14, 21, 2024

SECOND INSERTION

NOTICE TO CREDITORS IN THE CIRCUIT COURT OF THE 12TH JUDICIAL CIRCUIT IN AND FOR SARASOTA COUNTY, FLORIDA PROBATE DIVISION File No. 2024 CP 002068 NC IN RE: ESTATE OF WAYNE LORD GOOGINS, Deceased. The administration of the estate of WAYNE LORD GOOGINS, Deceased, whose date of death was December 2, 2023, is pending in the Circuit Court for SARASOTA County, Florida, Probate Division, the address of which is PO Box 3079, Sarasota, FL 34230. The names and addresses of the personal representative and the personal representative’s attorney are set forth below.

All creditors of the decedent and other persons having claims or demands against decedent’s estate on whom a copy of this notice is required to be served must file their claims with this court WITHIN THE LATER OF 3 MONTHS AFTER THE TIME OF THE FIRST PUBLICATION OF THIS NOTICE OR 30 DAYS AFTER THE DATE OF SERVICE OF A COPY OF THIS NOTICE ON THEM.

All other creditors of the decedent and other persons having claims or demands against decedent’s estate must file their claims with this court WITHIN 3 MONTHS AFTER THE DATE OF THE FIRST PUBLICATION OF THIS NOTICE. ALL CLAIMS NOT FILED WITHIN THE TIME PERIODS SET FORTH IN SECTION 733.702 OF THE FLORIDA PROBATE CODE WILL BE FOREVER BARRED.

NOTWITHSTANDING THE TIME PERIODS SET FORTH ABOVE, ANY CLAIM FILED TWO (2) YEARS OR MORE AFTER THE DECEDENT’S DATE OF DEATH IS BARRED.

The date of first publication of this notice is June 14, 2024. CHERYL GOOGINS, Personal Representative

Attorney for Personal Representative: Scott R. Bugay, Esquire Florida Bar No. 5207 Citicentre, Suite P600 290 NW 1612TH Street Miami FL 33169 Telephone: (305) 956-9040 Fax: (305) 945-2905

Primary Email: Scott@srblawyers.com

Secondary Email: angelica@srblawyers.com June 14, 21, 2024 24-01198S

SECOND INSERTION

NOTICE TO CREDITORS IN THE CIRCUIT COURT OF THE TWELFTH JUDICIAL CIRCUIT IN AND FOR SARASOTA COUNTY, FLORIDA PROBATE DIVISION File No. 2024-CP-2611 NC IN RE: ESTATE OF HENRY LEFFLER, Deceased.

The administration of the estate of John Philip Callihan, deceased, whose date of death was May 4, 2024, is pending in the Circuit Court for Sarasota County, Florida, Probate Division, the address of which is Sarasota County, FL. The names and addresses of the personal representative and the personal representative’s attorney are set forth below.

All creditors of the decedent and other persons having claims or demands against decedent’s estate on whom a copy of this notice is required to be served must file their claims with this court ON OR BEFORE THE LATER OF 3 MONTHS AFTER THE TIME OF THE FIRST PUBLICATION OF THIS NOTICE OR 30 DAYS AFTER THE DATE OF SERVICE OF A COPY OF THIS NOTICE ON THEM.

All other creditors of the decedent and other persons having claims or demands against decedent’s estate must file their claims with this court WITHIN 3 MONTHS AFTER THE DATE OF THE FIRST PUBLICATION OF THIS NOTICE.

ALL CLAIMS NOT FILED WITHIN THE TIME PERIODS SET FORTH IN FLORIDA STATUTES SECTION 733.702 WILL BE FOREVER BARRED.

NOTWITHSTANDING THE TIME PERIOD SET FORTH ABOVE, ANY CLAIM FILED TWO (2) YEARS OR MORE AFTER THE DECEDENT’S DATE OF DEATH IS BARRED.

The date of first publication of this notice is June 14, 2024.

Personal Representative: Margaret Callihan 7311 Broadway Street Galveston, TX 77554

Attorney for Personal Representative: Shumaker, Loop & Kendrick, LLP

By: Benjamin R. Hanan

E-Mail Addresses:

bhanan@shumaker.com

carolg@shumaker.com

Florida Bar No. 0089559

240 S. Pineapple Avenue,

SECOND INSERTION

NOTICE TO CREDITORS IN THE TWELFTH JUDICIAL CIRCUIT COURT IN AND FOR SARASOTA COUNTY, FLORIDA PROBATE DIVISION CASE NO.: 2024 CP 002927 NC IN RE: ESTATE OF EDWARD S. KECHEJIAN

The administration of the estate of EDWARD S. KECHEJIAN, deceased, whose date of death was May 14, 2024, is pending in the Circuit Court for SARASOTA County, Florida, Probate Division, the address of which is Courtroom 8B at 2002 Ringling Blvd. in Sarasota, Florida. The names and addresses of the personal representative and the personal representative’s attorney are set forth below. All creditors of the decedent and other persons having claims or demands against decedent’s estate on whom a copy of this notice is required to be served must file their claims with this court ON OR BEFORE THE LATER OF 3 MONTHS AFTER THE TIME OF THE FIRST PUBLICATION OF THIS NOTICE OR 30 DAYS AFTER THE DATE OF SERVICE OF A COPY OF THIS NOTICE ON THEM. All other creditors of the decedent and other persons having claims or demands against decedent’s estate must file their claims with this court WITHIN 3 MONTHS AFTER THE DATE OF THE FIRST PUBLICATION OF THIS NOTICE. ALL CLAIMS NOT FILED WITHIN THE TIME PERIODS SET FORTH IN FLORIDA STATUTES SECTION 733.702 WILL BE FOREVER BARRED. NOTWITHSTANDING THE TIME PERIODS SET FORTH ABOVE, ANY CLAIM FILED TWO (2) YEARS OR MORE AFTER THE DECEDENT’S DATE OF DEATH IS BARRED. The date of first publication of this notice is June 14, 2024. Personal Representative: CHRISTINE MILES Attorney for Personal Representative: MATTHEW J. MATECHIK, ESQ. Florida Bar Number: 126342 The Matechik Law Firm, P.A. 100 Wallace Avenue, Suite 310 Sarasota, FL 34237 Telephone: (941) 926-6755 Fax: (941) 244-5679

E-Mail: matt@thematechiklawfirm.com

Sec. E-Mail: chelsea@thematechiklawfirm.com June 14, 21, 2024 24-01208S

The administration of the estate of HENRY LEFFLER, deceased, whose date of death was April 23, 2024; is pending in the Circuit Court for Sarasota County, Florida, Probate Division, the address of which is Post Office Box 3079, Sarasota, Florida 34230. The names and addresses of the personal representative and the personal representative ‘s attorney are set forth below.

All creditors of the decedent and other persons having claims or demands against decedent ‘s estate, on whom a copy of this notice is required to be served must file their claims with this court ON OR BEFORE THE LATER OF 3 MONTHS AFTER THE TIME OF THE FIRST PUBLICATION OF THIS NOTICE OR 30 DAYS AFTER THE DATE OF SERVICE OF A COPY OF THIS NOTICE ON THEM.

All other creditors of the decedent and other persons having claims or demands against decedent ‘s estate must file their claims with this court WITHIN 3 MONTHS AFTER THE DATE OF THE FIRST PUBLICATION OF THIS NOTICE.

ALL CLAIMS NOT FILED WITHIN THE TIME PERIODS SET FORTH IN FLORIDA STATUTES SECTION 733.702 WILL BE FOREVER BARRED.

NOTWITHSTANDING THE TIME PERIOD SET FORTH ABOVE, ANY CLAIM FILED TWO (2) YEARS OR MORE AFTER THE DECEDENT’S DATE OF DEATH IS BARRED.

The date of first publication of this notice is: June 14, 2024. Sue McDade Petitioner 4069 Tern Street Sarasota, FL 34232

Dave M. Evans, Jr., Esquire

Attorney for Petitioner Florida Bar No. 1013511

LEE & EVANS, P.A. 2601 Cattlemen Road, Suite 503 Sarasota, Florida 34232

Telephone: (941) 954 0067 Facsimile: (941) 365 1492

Email: devans@leeandevans.com

Secondary Email: lbecker@leeandevans.com June 14, 21, 2024 24-01196S

SECOND INSERTION NOTICE TO CREDITORS IN THE CIRCUIT COURT FOR SARASOTA COUNTY, FLORIDA PROBATE DIVISION File No. 2024 CP 2591 NC Division Probate IN RE: ESTATE OF ELEANOR T. SMITH Deceased. The administration of the estate of Eleanor T. Smith, deceased, whose date of death was March 20, 2024, is pending in the Circuit Court for Sarasota County, Florida, Probate Division, the address of which is 2000 Main St., Sarasota, FL 34237. The names and addresses of the personal representative and the personal representative’s attorney are set forth below. All creditors of the decedent and other persons having claims or demands against decedent’s estate on whom a copy of this notice is required to be served must file their claims with this court ON OR BEFORE THE LATER OF 3 MONTHS AFTER THE TIME OF THE FIRST PUBLICATION OF THIS NOTICE OR 30 DAYS AFTER THE DATE OF SERVICE OF A COPY OF THIS NOTICE ON THEM. All other creditors of the decedent and other persons having claims or demands against decedent’s estate must file their claims with this court WITHIN 3 MONTHS AFTER THE DATE OF THE FIRST PUBLICATION OF THIS NOTICE. ALL CLAIMS NOT FILED WITHIN THE TIME PERIODS SET FORTH IN FLORIDA STATUTES SECTION 733.702 WILL BE FOREVER BARRED. NOTWITHSTANDING THE TIME PERIODS SET FORTH ABOVE, ANY CLAIM FILED TWO (2) YEARS OR MORE AFTER THE

JUNE 21 - JUNE 27, 2024 BUSINESS OBSERVER SARASOTA COUNTY 22
date of first
notice is June 14, 2024. Personal Representative: Deborah E. Houston 4185 Vallarta Court Sarasota, Florida 34233 Attorney for Personal Representative: Ira Stewart Wiesner, Esq. Attorney Florida Bar Number: 222887 ADVOCATES IN AGING WIESNER SMITH PLLC 328 N Rhodes Avenue Sarasota, FL 34237 Telephone: (941) 365-9900 Fax: (941) 365-4479 E-Mail: sherri@wiesnerlaw.com Secondary E-Mail: rachel@wiesnerlaw.com June 14, 21, 2024 24-01218S
DECEDENT’S DATE OF DEATH IS BARRED. The
publication of this
9th Floor P.O. Box 49948 Sarasota, FL 34236 Telephone: 941-364-2788 June 14, 21, 2024 24-01207S
--- ESTATE -----
---
PUBLIC SALES
24-01188S

SECOND INSERTION

NOTICE OF FORECLOSURE SALE

PURSUANT TO CHAPTER 45

IN THE CIRCUIT COURT OF THE TWELFTH JUDICIAL CIRCUIT IN AND FOR SARASOTA COUNTY, FLORIDA CASE NO.: 2023 CA 001262

THE BANK OF NEW YORK

MELLON FKA THE BANK OF NEW YORK, AS TRUSTEE FOR THE CERTIFICATE HOLDERS OF THE CWABS INC., ASSET BACKED CERTIFICATES, SERIES 2006-BC5, Plaintiff, VS. LINDSAY M. MCLAY; RYAN W. BROWN; UNKNOWN SPOUSE OF LINDSAY M. MCLAY N/K/A RUSTY RIPBERGER; UNKNOWN SPOUSE OF RYAN W. BROWN K/N/A VANESSA BROWN; MORTGAGE ELECTRONIC REGISTRATION SYSTEMS, INC., ACTING SOLELY; UNKNOWN TENANT #1 K/N/A FARRAH BOWMAN; UNKNOWN TENANT #2 N/K/A MR. BOWMAN; ANY AND ALL UNKNOWN PARTIES CLAIMING BY, THROUGH, UNDER AND AGAINST THE HEREIN NAMED INDIVIDUAL DEFENDANT(S) WHO ARE NOT KNOWN TO BE DEAD OR ALIVE, WHETHER SAID UNKNOWN PARTIES MAY CLAIM AN INTEREST AS SPOUSES, HEIRS, DEVISEES, GRANTEES, OR OTHER CLAIMANTS

Defendant(s). NOTICE IS HEREBY GIVEN that sale will be made pursuant to an Order or Final Judgment. Final Judgment was awarded on May 30, 2024 in Civil Case No. 2023 CA 001262, of the Circuit Court of the TWELFTH Judicial Circuit in and for Sarasota County, Florida, wherein, THE BANK OF NEW YORK MELLON FKA THE BANK OF NEW YORK, AS TRUSTEE FOR THE CERTIFICATE HOLDERS OF THE CWABS INC., ASSET BACKED CERTIFICATES, SERIES 2006-BC5 is the Plaintiff, and LINDSAY M. MCLAY; RYAN W. BROWN; UNKNOWN SPOUSE OF LINDSAY M. MCLAY N/K/A RUSTY RIPBERGER; UNKNOWN SPOUSE OF RYAN W. BROWN K/N/A VANESSA BROWN; MORTGAGE ELECTRONIC REGISTRATION SYSTEMS, INC., ACTING SOLELY;

UNKNOWN TENANT #1 K/N/A FARRAH BOWMAN; UNKNOWN TENANT #2 N/K/A MR. BOWMAN; ANY AND ALL UNKNOWN PARTIES CLAIMING BY, THROUGH, UNDER AND AGAINST THE HEREIN NAMED INDIVIDUAL DEFENDANT(S) WHO ARE NOT KNOWN TO BE DEAD OR ALIVE, WHETHER SAID UNKNOWN PARTIES MAY CLAIM AN INTEREST AS SPOUSES, HEIRS, DEVISEES, GRANTEES, OR OTHER CLAIMANTS are Defendants.

The Clerk of the Court, Karen E. Rushing will sell to the highest bidder for cash at www.sarasota.realforeclose. com on September 27, 2024 at 09:00:00 AM EST the following described real property as set forth in said Final Judgment, to wit: LOT 1067, RIDGEWOOD ESTATES, 19TH ADDITION, AS PER PLAT THEREOF RECORDED IN PLAT BOOK 24, PAGES 38 AND38A OF THE PUBLIC RECORDS OF SARASOTA COUNTY, FLORIDA

Any person claiming an interest in the surplus from the sale, if any, other than the property owner as of the date of the lis pendens must file a claim before the clerk reports the surplus as unclaimed.

If you are a person with a disability who needs any accommodation in order to participate in this proceeding, you are entitled, at no cost to you, to the provision of certain assistance. Please contact the Sarasota County Jury Office, P.O. Box 3079, Sarasota, Florida 34230-3079, (941)861-7400, at least seven (7) days before your scheduled court appearance, or immediately upon receiving this notification if the time before the scheduled appearance is less than seven (7) days; if you are hearing or voice impaired, call 711. Dated this 6 day of June 2024. ALDRIDGE PITE, LLP

Attorney for Plaintiff 5300 West Atlantic Avenue Suite 303 Delray Beach, FL 33484 Telephone: 561-392-6391 Facsimile: 561-392-6965 By: Zachary Ullman FBN: 106751 Primary E-Mail: ServiceMail@aldridgepite.com 1092-11754B June 14, 21, 2024 24-01200S

SECOND INSERTION

FINAL JUDGMENT OF FORECLOSURE AND DAMAGES IN THE COUNTY COURT IN AND FOR THE TWELFTH JUDICIAL CIRCUIT SARASOTA COUNTY FLORIDA COUNTY COURT Case No. 2023 CC 006858-NC SARASOTA SANDS OWNERS ASSOCIATION, INC., Plaintiff, v. JOSEPH SNOW, Defendant. THIS CAUSE having come to be heard on Plaintiff’s Motion for Entry of Default Final Judgment of Foreclosure, filed on May 17, 2024, the Court having reviewed the court file, having heard argument and otherwise being fully advised in these premises, it is hereupon ORDERED and ADJUDGED as follows:

1. The equities of this action are in favor of Plaintiff, and Plaintiff is entitled to the foreclosure of its assessment lien. Plaintiff is due as to Unit A115 Week 1: Amount pursuant to affidavit: $2,598.88 Publication of sale: $ 175.00 Clerk’s Sales Fee: $ 140.00 Total: $2,913.88

2. Plaintiff holds a lien for the total sums set forth in paragraph 1 superior to any claims, interests or estates of Defendant and any person or entities claiming by, through, under or against this defendant, on the following described property with the following legal description: Undivided 1/50th interest in and to Condominium Unit A115 Week 1 and their undivided respective share in those common elements appertaining thereto in accordance with and subject to the covenants, conditions, terms, restrictions and other provisions of a certain Declaration of Condominium of SARASOTA SANDS, a resort condominium hotel, as recorded in Official Records Book 1364 at Page 1165 et seq., of the public records of Sarasota County, Florida, and as per Condominium Plat recorded in Condominium Book 14 at Pages 4 through 4B inclusive of the public records of Sarasota County, Florida.

3. If the total sum and all costs accrued subsequent to this judgment are not paid, the clerk of this court shall sell the property at public sale as set forth below to the highest bidder for cash, except as prescribed in paragraph 4, in accordance with section 45.031, Florida Statutes, using the following method: Sales Information SARASOTA COUNTY Date (Clerk inserts) 07/23/24

THIRD

NOTICE OF ACTION TERMINATION OF PARENTAL RIGHTS IN THE CIRCUIT COURT OF THE 12TH JUDICIAL CIRCUIT IN AND FOR SARASOTA COUNTY CASE NO. 2023DP000449NC IN THE INTEREST OF: S.F.W. 8/28/2023

Minor Child

TO: Frances Wallace; Address Unknown YOU ARE HEREBY NOTIFIED that the State of Florida, Department of Children and Families, has filed a Petition to terminate your parental rights and permanently commit the following child for adoption: S.F.W. born on 8/28/2023. You are hereby commanded to appear on July 10, 2024, at 10:00 AM before the Honorable Andrea McHugh at the Sarasota Courthouse, 2000 Main Street Courtroom 6B Sarasota, Fl 34237, for an ADVISORY HEARING.

FAILURE TO PERSONALLY APPEAR AT THIS ADVISORY HEARING CONSTITUTES CONSENT TO THE TERMINATION OF PARENTAL

INSERTION

RIGHTS OF THIS CHILD. IF YOU

FAIL TO APPEAR ON THE DATE AND TIME SPECIFIED, YOU MAY LOSE ALL LEGAL RIGHTS AS A PARENT TO THE CHILD NAMED IN THIS NOTICE. If you are a person with a disability who needs any accommodation in order to participate in this proceeding, you are entitled, at no cost to you, to the provision of certain assistance. Please contact SARASOTA COUNTY JURY OFFICE: P.O. BOX 3079 SARASOTA, FL 34230-3079; TELEPHONE: (941) 861-7400, at least 7 days before your scheduled court appearance, or immediately upon receiving this notification if the time before the scheduled appearance is less than 7 days; if you are hearing or voice impaired, call 711. WITNESS, my hand as Clerk of said Court and the Seal thereof, this day of 5/30/2024.

Karen E. Rushing, Clerk of Circuit Court Sarasota County, Florida By: (SEAL) /s/ Deputy Clerk June 7, 14, 21, 28, 2024 24-01153S

THIRD INSERTION

NOTICE OF ACTION; CONSTRUCTIVE SERVICEPROPERTY IN THE CIRCUIT COURT OF THE TWELFTH JUDICIAL CIRCUIT OF THE STATE OF FLORIDA, IN AND FOR SARASOTA COUNTY, CIVIL DIVISION CASE NO.: 2024CA001477

A&C REAL ESTATE SOLUTIONS EMPLOYEE PROFIT SHARING PLAN 401K, Plaintiff, vs. NANCY L. JORDAN; and LISA LYN JORDAN, Defendants.

TO: NANCY L. JORDAN, 2041 W MAIN STREET, DECATUR, IL 62522 LISA LYN JORDAN, 2041 W MAIN STREET, DECATUR, IL 62522

fore July 8, 2024, and file the original with the clerk of this court either before service on the plaintiff’s attorney or immediately thereafter; otherwise a default will be entered against you for the relief demanded in the complaint or petition.

Time 9:00 or as soon as possible thereafter

Location Foreclosure sales conducted via Internet: www.sarasota.realforeclose.com

4. Plaintiff, shall advance all subsequent costs of this action, and shall be reimbursed for them by the Clerk if Plaintiff is not the purchaser of the property for sale, provided, however, that the purchaser of the property for sale shall be responsible for the documentary stamps payable on the certificate of title. If plaintiff is the purchaser, the clerk shall credit plaintiff’s bid with the total sum with interest and costs accruing subsequent to this judgment, or such part of it, as is necessary to pay the bid in full.

5. On filing the Certificate of Title the Clerk shall distribute the proceeds of the sale, so far as they are sufficient. by paying: first, all of Plaintiff’s costs; second, documentary stamps affixed to the Certificate; third, plaintiff’s attorney fees; fourth, the total sum due to Plaintiff, as set forth in Paragraph 1, less the items paid, plus interest at the rate prescribed by law from the date of the sale to the Plaintiff. The Clerk shall retain any amount remaining pending further order of this Court.

6. On filing the certificate of sale, defendant(s) and all persons claiming under or against defendant(s) since the filing of the notice of lis pendens shall be foreclosed of all estate or claim in the property, except as to claims or rights under chapter 718 or chapter 720, Florida Statutes if any. Upon the filing of the certificate of title, the person chapter named on the certificate of title shall be let into possession of the property.

7. Jurisdiction of this action is retained to enter such further orders that are proper. If you are a person with a disability who needs any accommodation in order to participate in this proceeding, you are entitled, at no cost to you, to the provision of certain assistance. Please contact the Sarasota County Jury Office, P.O. Box 3079, Sarasota, Florida 34230-3079, (941)861-7400, at least seven (7) days before your scheduled court appearance, or immediately upon receiving this notification if the time before the scheduled appearance is less than seven (7) days; if you are hearing or voice impaired, call 711. DONE and ORDERED in Chambers, in Sarasota County, Florida this day of June 7th, 2024. HONORABLE

KENNEDY B. LEGLER County Judge David K. Oaks, Esq. P. O. Box 671 Saluda, NC 28773 June 14, 21, 2024 24-01202S

YOU ARE NOTIFIED that an action to quiet title to the following properties in Sarasota County, Florida: Lot 26 Block 1585 of 32 ADDITION TO PORT CHARLOTTE SUBDIVISION, a Subdivision according to the Plat thereof, as recorded in Plat Book 15 page 16, of the Public Records of Sarasota County, Florida. has been filed against you and you are required to serve a copy of your written defenses, if any, to it on Sokolof Remtulla, LLP, the plaintiff’s attorney, whose address is 6801 Lake Worth Road, Suite 100E, Greenacres, FL 33467, on or be-

If you are a person with a disability who needs any accommodation in order to participate in this proceeding, you are entitled, at no cost to you, to the provision of certain assistance. Please contact the Sarasota County Jury Office, P.O. Box 3079, Sarasota, Florida 34230-3079, (941)861-7400, at least seven (7) days before your scheduled court appearance, or immediately upon receiving this notification if the time before the scheduled appearance is less than seven (7) days; if you are hearing or voice impaired, call 711.

DATED on May 30th, 2024. KIMBERLY R. BARRINEAU CLERK OF THE CIRCUIT COURT By: G. Kopinsky DEPUTY CLERK

SOKOLOF REMTULLA, LLP

6801 Lake Worth Road, Suite 100E Greenacres, FL 33467

Telephone: 561-507-5252

Facsimile: 561-342-4842

E-mail: pleadings@sokrem.com

Counsel for Plaintiff June 7, 14, 21, 28, 2024 24-01154S

THIRD INSERTION

NOTICE OF FINAL HEARING IN THE CIRCUIT COURT OF THE TWELFTH JUDICIAL CIRCUIT IN AND FOR SARASOTA COUNTY, FLORIDA Case No.: 2024 CA 002391 NC IN RE: HAROLD W. WIPKE TRUST UAD 11/16/1978, ROBERT H. PIPER, JR., as Personal Representative of the Estate of Harold W. Wipke, and as Trustee of the Harold W. Wipke Marital Trust UAD 11/15/1978, Petitioner, v. UNKNOWN BENEFICIARIES OF THE HAROLD W. WIPKE TRUST UAD 11/16/1978, Respondents. YOU ARE NOTIFIED that a Court hearing conducted via ZOOM videoconference is scheduled in this case before Judge Stephen Walker, as follows:

Date & Time: July 30, 2024, at 10:00 a.m.

Time Reserved: 15 minutes

Matter(s): Petition to Determine Trust Beneficiaries (Count II) (DIN 2) Zoom Credentials: Meeting ID: 465 693 0098 Password: 568290

There are no fees for attending this court hearing via the Zoom platform. Unless the Judge specifically authorizes an in-person attendance, all individuals, including the court reporter, must attend using the Zoom platform at https://www.zoom.us. Please select the “Join A Meeting” link and then enter the Meeting ID and Password to access the hearing. You may also join the court hearing from Judge Walker’s Zoom Video Conference Access Information page at https://www.jud12.flcourts. org/Public-Information/PublicCourtHearings/ctl/Credentials/ mid/1240/id/7406

Court proceedings are open to the public. Members of the public may use the Zoom credentials to access the hearing. Magistrate Bailey will “host” the videoconference. When you sign on, you be placed in a waiting room. The Court will admit you at the beginning of the hearing. Please name your video feed with your first and last name. Late entry or Technical Difficulties

If you are not logged in when the hearing begins, the Judge may not interrupt the proceedings to admit you to the hearing. If you have trouble logging in,

SECOND INSERTION

NOTICE OF FORECLOSURE SALE IN THE COUNTY COURT OF THE TWELFTH JUDICIAL CIRCUIT OF FLORIDA IN AND FOR SARASOTA COUNTY CIVIL DIVISION CASE NO. 2024 CC 001714 NC County Civil Division B Honorable Kennedy Legler OAKS CLUB CORPORATION, Plaintiff, vs. PHYLLIS A. GERBER and JANE DOE and JOHN DOE, or either of them, as Unknown Tenants in Possession, Defendants.

NOTICE is hereby given that, pursuant to the Amended Final Judgment of Foreclosure after Default entered on June 4, 2024 in the above-referenced matter pending in the County Court of the Twelfth Judicial Circuit in and for Sarasota County, Florida, the Clerk of Court will sell to the highest and best bidder for cash via the internet at www.sarasota.realforeclose. com at 9:00 a.m. on July 18, 2024 the following property described below, situated in Sarasota County, Florida, as set forth in the Amended Final Judgment of Foreclosure after Default: THE PHYSICAL ADDRESS IS: 48 Bay Head Lane Osprey, Florida 34229

DESCRIPTION OF THE REAL PROPERTY: Lot 41, Bishopscourt at the Oaks Preserve, as per plat thereof re-

corded in Plat Book 33, Pages 28, 28A through 28C of the Public Records of Sarasota County, Florida.

Any person who is claiming an interest in the surplus, if any, resulting from the foreclosure sale, other than the property owner as of the date of the Lis Pendens, must file a claim on same with the Clerk of Court within 60 days after the foreclosure sale.

If you are a person with a disability who needs any accommodation in order to participate in this proceeding, you are entitled, at no cost to you, to the provision of certain assistance. Please contact the Sarasota County Jury Office, P.O. Box 3079, Sarasota, Florida 34230-3079, (941)861-7400, at least seven (7) days before your scheduled court appearance, or immediately upon receiving this notification if the time before the scheduled appearance is less than seven (7) days; if you are hearing or voice impaired, call 711. DATED this 6th day of June 2024. ADAMS AND REESE LLP 2001 Siesta Drive, Suite 302 Sarasota, Florida 34239 Phone: (941) 316-7600 Fax: (941) 316-7676 Primary E-mail: david.boyette@arlaw.com

SECOND INSERTION

and you wish to participate in the hearing, contact the Judge’s Judicial Assistant immediately.

Digital Court Recording

You are advised that the Court may record this proceeding via the Court’s Digital Court Recording. Not all hearings are digitally recorded, however. No Recording Proceedings By court rule and court order, you are not authorized to make your own audio or visual recording of a court proceeding. No one may take “screenshots” or other audio or visual depictions of a court proceeding. Recording a court proceeding is strictly prohibited unless approved by the Judge. If you violate these rules, you may be held in contempt of court. Members of the media must comply with rule 2.450 and administrative order 2020-23.2 regarding media coverage. Please contact the Court’s Public Information Officer for further information.

Expectations for ALL Participants

Attending Zoom Hearings

Please see the expectations for all participants on the Twelfth Judicial Court Website: https://www.jud12. flcourts.org/Public-Information/ PublicCourt-Hearings

ADA Notice

If you are a person with a disability who needs any accommodation in order to participate in this proceeding, you are entitled, at no cost to you, to the provision of certain assistance. Please contact the Sarasota County Jury Office at least seven (7) days before your scheduled court appearance, or immediately upon receiving this notification if the time before the scheduled appearance is less than seven (7) days; if you are hearing or voice impaired, call 711. Additional ADA information can be found on the Twelfth Circuit Court Website: https:// www.jud12.flcourts.org/Services/ADA

Dated this 4th day of June 2024. /s/ John J. Waskom

JOHN J. WASKOM

Attorney for Petitioner Florida Bar No. 0962181 ICARD, MERRILL, CULLIS, TIMM, FUREN & GINSBURG, P.A. 8470 Enterprise Circle, Suite 201 Lakewood Ranch, FL 34202 941-907-0006 Telephone jwaskom@icardmerrill.com – primary jdreznin@icardmerrill.com –secondary 01699251-1 June 7, 14, 21, 28, 2024 24-01173S

NOTICE OF RESCHEDULED SALE PURSUANT TO CHAPTER 45 IN THE CIRCUIT COURT OF THE TWELFTH JUDICIAL CIRCUIT IN AND FOR SARASOTA COUNTY, FLORIDA CIVIL ACTION CASE NO.: 2023 CA 003612 NC U.S. BANK NATIONAL ASSOCIATION, Plaintiff, vs. ELIJAH LEE, et al, Defendant(s). NOTICE IS HEREBY GIVEN Pursuant to an Order Rescheduling Foreclosure Sale dated May 31, 2024 and entered in Case No. 2023 CA 003612 NC of the Circuit Court of the Twelfth Judicial Circuit in and for Sarasota County, Florida in which U.S. Bank National Association, is the Plaintiff and Elijah Lee, Ravelyn Lee a/k/a Ravelyn A. Lee,Housing Finance Authority of Lee County, Florida, are defendants, the Sarasota County Clerk of the Circuit Court will sell to the highest and best bidder for cash in/on online at the Internet: www.sarasota. realforeclose.com, Sarasota County, Florida at 9:00am on the September 4, 2024 the following described property as set forth in said Final Judgment of Foreclosure: LOT 5, BLOCK 54, 4TH ADDITION TO PORT CHARLOTTE SUBDIVISION, A SUBDIVISION ACCORDING TO THE PLAT THEREOF, AS RECORD-

ED IN PLAT BOOK 11, PAGES 32, 32A-32H, OF THE PUBLIC RECORDS OF SARASOTA COUNTY, FLORIDA. A/K/A 5442 ANSONIA TER NORTH PORT FL 34287

Any person claiming an interest in the surplus from the sale, if any, other than the property owner as of the date of the Lis Pendens must file a claim before the Clerk reports the surplus as unclaimed. If you are a person with a disability who needs any accommodation in order to participate in this proceeding, you are entitled, at no cost to you, to the provision of certain assistance. Please contact the Sarasota County Jury Office, P.O. Box 3079, Sarasota, Florida 34230-3079, (941)861-7400, at least seven (7) days before your scheduled court appearance, or immediately upon receiving this notification if the time before the scheduled appearance is less than seven (7) days; if you are hearing or voice impaired, call 711. Dated this 05 day of June , 2024. ALBERTELLI LAW P. O. Box 23028 Tampa, FL 33623 Tel: (813) 221-4743 Fax: (813) 221-9171 eService: servealaw@albertellilaw.com By: /s/ Justin Swosinski Florid Bar #96533 Justin Swosinski, Esq. LR- 22-003530 June 14, 21, 2024 24-01209S

SECOND INSERTION

NOTICE OF FORECLOSURE SALE IN THE CIRCUIT COURT OF THE 12th JUDICIAL CIRCUIT, IN AND FOR SARASOTA COUNTY, FLORIDA CIVIL DIVISION: C CASE NO.: 2023-CA-005755 NC UNITED WHOLESALE MORTGAGE, LLC, Plaintiff, vs. SHARKER MOHAMMAD ABU KHALED A/K/A SHARKER KHALED; NADIA MERISSA CORNELIUS; UNKNOWN TENANT #1 AND UNKNOWN TENANT #2, Defendant(s). NOTICE IS HEREBY GIVEN pursuant to the Uniform Final Judgment of Mortgage Foreclosure entered on the 30th day of May 2024, in Case No. 2023-CA-005755 NC, of the Circuit Court of the 12TH Judicial Circuit in and for Sarasota County, Florida, wherein UNITED WHOLESALE MORTGAGE, LLC is the Plaintiff and SHARKER MOHAMMAD ABU KHALED A/K/A SHARKER KHALED; NADIA MERISSA CORNELIUS; UNKNOWN TENANT #1 AND UNKNOWN TENANT #2, are the Defendants. Karen Rushing Clerk of this Court shall sell to the highest and best bidder for cash electronically at www.sarasota.realforeclose.com, the Clerk’s website for on-line auctions at, 9:00 AM on the 8th day of July 2024, the following described property as set forth in said Final Judgment, to wit: LOT 15, BLOCK 1460, 30TH ADDITION TO PORT CHARLOTTE SUBDIVISION, ACCORDING TO THE PLAT

THEREOF, RECORDED IN PLAT BOOK 15, PAGE(S) 14 OF THE PUBLIC RECORDS OF SARASOTA COUNTY, FLORIDA. Property Address: 5336 Ponce De Leon Blvd, North Port, FL 34291 ANY PERSON CLAIMING AN INTEREST IN THE SURPLUS FROM THE SALE, IF ANY, OTHER THAN THE PROPERTY OWNER AS OF THE DATE OF THE LIS PENDENS MUST FILE A CLAIM WITH THE CLERK BEFORE THE CLERK REPORTS THE SURPLUS AS UNCLAIMED. If you are a person with a disability who needs any accommodation in order to participate in this proceeding, you are entitled, at no cost to you, to the provision of certain assistance. Please contact the Sarasota County Jury Office, P.O. Box 3079, Sarasota, Florida 34230-3079,

JUNE 21 - JUNE 27, 2024 BusinessObserverFL.com SARASOTA COUNTY 23
Secondary E-mail: helen.martin@arlaw.com Counsel for Plaintiff By: David L. Boyette Florida Bar No. 0813140 June 14, 21, 2024 24-01199S
(941)861-7400, at least seven (7) days before your scheduled court appearance, or immediately upon receiving this notification if the time before the scheduled appearance is less than seven (7) days; if you are hearing or voice impaired, call 711. Dated this 6th day of June 2024. By: /s/ Ian Norych Ian Norych, Esq. Bar Number: 56615 DELUCA LAW GROUP, PLLC 2101 NE 26th Street FORT LAUDERDALE, FL 33305 PHONE: (954) 368-1311 | FAX: (954) 200-8649 DESIGNATED PRIMARY E-MAIL FOR SERVICE PURSUANT TO FLA. R. JUD. ADMIN 2.516 service@delucalawgroup.com 23-05620 June 14, 21, 2024 24-01201S
--- SALES / ACTIONS ---

NOTICE OF ACTION IN THE CIRCUIT COURT OF THE TWELFTH JUDICIAL CIRCUIT IN AND FOR SARASOTA COUNTY, FLORIDA CASE NO.: 2024 CA 002463 NATIONSTAR MORTGAGE LLC, Plaintiff, VS. UNKNOWN HEIRS, BENEFICIARIES, DEVISEES, SURVIVING SPOUSE, GRANTEES, ASSIGNEE, LIENORS, CREDITORS, TRUSTEES, AND ALL OTHER PARTIES

CLAIMING AN INTEREST BY, THROUGH, UNDER, OR AGAINST THE ESTATE OF DONALD M. MARTELL A/K/A DONALD MARTELL, DECEASED; et al., Defendant(s). TO: Unknown Heirs, Beneficiaries, Devisees, Surviving Spouse, Grantees, Assignee, Lienors, Creditors, Trustees, And All Other Parties Claiming An Interest By, Through, Under, Or Against The Estate of Donald M. Martell A/K/A Donald Martell, Deceased Last Known Residence: Unknown YOU ARE NOTIFIED that an action to foreclose a mortgage on the following property in SARASOTA County, Florida: LOT 33, BLOCK 485, 8TH ADDITION TO PORT CHARLOTTE SUBDIVISION, ACCORDING TO THE PLAT THEREOF, RECORDED IN PLAT BOOK 12, PAGES 20 AND 20A THRU 20 Z2 , OF THE PUBLIC RECORDS OF

NOTICE OF ACTION IN THE CIRCUIT COURT OF THE TWELFTH JUDICIAL CIRCUIT IN AND FOR SARASOTA COUNTY, FLORIDA CIVIL DIVISION Case No.: 24-CA-001735 FOREVER YOUNG VETERANS, INC., A Tennessee non-profit corporation, Plaintiff, vs. BETTY F. BAHRET, DEBORAH BROWER AS PERSONAL

REPRESENTATIVE OF THE ESTATE OF BETTY F. BAHRET, BRADLEY BAHRET, and THE UNKNOWN HEIRS OF BETTY F. BAHRET Defendants.

TO: THE UNKNOWN HEIRS OF BETTY F. BAHRET YOU ARE HEREBY NOTIFIED that an action quieting title on the following real property: Unit #J-12, of OAKWOOD MANOR HOMEOWNERS COOPERATIVE, a Cooperative, according to Exhibit “B” (Plot Plan) of the Master Form Proprietary Lease recorded in Official Records Book 2076, Pages 655 through 683, as amended, of the Public Records of Sarasota County, Florida Commonly known as: 3236 Sumac Terrace, Sarasota, FL 34237-6426 has been filed against you and you are

AMENDED NOTICE OF ACTION (Amended as to Name of Condominium Only) IN THE CIRCUIT COURT OF THE TWELFTH JUDICIAL CIRCUIT IN AND FOR SARASOTA COUNTY, FLORIDA

CASE NO. 2024 CA 002331 NC Jean Chambers f/k/a Jean K. Pasqualone, An Individual, Plaintiff, vs. Paul M. Pasqualone, Sr., An Individual, Defendant. TO: PAUL M. PASQUALONE, SR., an individual ADDRESS UNKNOWN

YOU ARE NOTIFIED that an action for enforcement of judgment and to quiet title on the following described property: Week No. 38, Unit Number 211 and Week No. 39, Unit Number 211, SEA CLUB V, a Condominium according to the Declaration of Condominium thereof as recorded in Official Records Book 1422, Pages 293, et seq, and amendments thereto, and according to the Plat thereof recorded in Condominium Book 16, Page 2, et seq, of the Public Records of Sarasota County, Florida. has been filed against you and you are required to serve a copy of your written defenses, if any, to it on NICK

ROKNICH, III, ESQ. and NICK

ROKNICH, IV, ESQ., Plaintiff’s at-

SARASOTA COUNTY, FLORIDA.

has been filed against you and you are required to serve a copy of your written defenses, if any, to it on ALDRIDGE PITE, LLP, Plaintiff’s attorney, at 5300 West Atlantic Avenue Suite 303 Delray Beach, FL 33484, on or before July 15, 2024, and file the original with the clerk of this court either before service on Plaintiff’s attorney or immediately thereafter; otherwise a default will be entered against you for the relief demanded in the complaint or petition. If you are a person with a disability who needs any accommodation in order to participate in this proceeding, you are entitled, at no cost to you, to the provision of certain assistance. Please contact the Sarasota County Jury Office, P.O. Box 3079, Sarasota, Florida 34230-3079, (941)861-7400, at least seven (7) days before your scheduled court appearance, or immediately upon receiving this notification if the time before the scheduled appearance is less than seven (7) days; if you are hearing or voice impaired, call 711. Dated on June 7, 2024.

KAREN E RUSHING, CLERK As Clerk of the Court (SEAL) By: G. Kopinsky As Deputy Clerk

ALDRIDGE PITE, LLP, Plaintiff’s attorney, 5300 West Atlantic Avenue Suite 303 Delray Beach, FL 33484 1190-1493B Ref# 8221 June 14, 21, 2024 24-01204S

required to serve a copy of your written defenses, if any, to the action on Plaintiff’s counsel Ellison | Lazenby, Attn: Jason M. Ellison, Esq., 150 2nd Avenue N., Ste. 1770 Saint Petersburg, Florida 33701, by 7-15-2024 (30 days from date of first publication of this Notice in the Business Observer) and file the original with the clerk of this Court at before service on Plaintiffs’ counsel or immediately thereafter. If you fail to do so, a default may be entered against you for the relief demanded in the complaint. If you are a person with a disability who needs any accommodation in order to participate in this proceeding, you are entitled, at no cost to you, to the provision of certain assistance. Please contact the Sarasota County Jury Office, P.O. Box 3079, Sarasota, Florida 34230-3079, (941)861-7400, at least seven (7) days before your scheduled court appearance, or immediately upon receiving this notification if the time before the scheduled appearance is less than seven (7) days; if you are hearing or voice impaired, call 711. Dated: June 6, 2024

KAREN E RUSHING, CLERK CLERK OF THE CIRCUIT COURT (SEAL) By: G. Kopinsky Deputy Clerk Ellison | Lazenby Jason M. Ellison, Esq. 150 2nd Avenue N., Ste. 1770 Saint Petersburg, Florida 33701 June 14, 21, 28; July 5, 2024 24-01203S

torneys, whose address is 1800 Second Street, Suite 854, Sarasota, Florida 34236, within thirty (30) days of the first publication of this Notice, and file the original with the Clerk of this Court either before service on the Plaintiff’s attorney or immediately thereafter; otherwise a default will be entered against you for the relief demanded in the Complaint or Petition. If you are a person with a disability who needs any accommodation in order to participate in this proceeding, you are entitled, at no cost to you, to the provision of certain assistance. Please contact the Sarasota County Jury Office, P.O. Box 3079, Sarasota, Florida 34230-3079, (941)861-7400, at least seven (7) days before your scheduled court appearance, or immediately upon receiving this notification if the time before the scheduled appearance is less than seven (7) days; if you are hearing or voice impaired, call 711. DATED on June 4, 2024. KAREN E. RUSHING Clerk of the Circuit Court (SEAL) By G. Kopinsky As Deputy Clerk

NICK ROKNICH, III, ESQ. Florida Bar Number: 501573

NICK ROKNICH, IV, ESQ. Florida Bar Number: 1028324

Plaintiff’s Attorneys ROKNICH LAW FIRM, P.A. 1800 Second Street, Suite 854 Sarasota, Florida 34236 June 14, 21, 28; July 5, 2024 24-01191S

NOTICE OF ACTION IN THE CIRCUIT COURT OF THE 12th JUDICAL CIRCUIT, IN AND FOR SARASOTA, FLORIDA. CASE No. 2023 CA 000250 NC BANK OF NEW YORK MELLON TRUST COMPANY, N.A. AS TRUSTEE FOR MORTGAGE ASSETS MANAGEMENT SERIES

I TRUST, Plaintiff vs. DONNA A. MIGLIORI, et al., Defendants TO: UNKNOWN SPOUSE, HEIRS, DEVISEES, GRANTEES, ASSIGNEES, LIENORS, CREDITORS, TRUSTEES AND ALL OTHER PARTIES CLAIMING AN INTEREST BY, THROUGH, UNDER OR AGAINST THE ESTATE OF DONNA A. MIGLIORI, DECEASED 6232 CARLTON AVE. SARASOTA, FL 34231

AND TO: All persons claiming an interest by, through, under, or against the aforesaid Defendant(s). YOU ARE HEREBY NOTIFIED that an action to foreclose a mortgage on the following described property located in Sarasota County, Florida: LOT 56, DENHAM ACRES, UNIT NO. 1, ACCORDING TO THE PLAT THEREOF, RECORDED IN PLAT BOOK 8, PAGE 52 OF THE PUBLIC RECORDS OF SARASOTA COUNTY, FLORIDA. has been filed against you, and you are required to serve a copy of your written defenses, if any, to this action, on Greenspoon Marder, LLP, Default De-

NOTICE OF ACTION IN THE CIRCUIT COURT OF THE 12TH JUDICIAL CIRCUIT IN AND FOR SARASOTA COUNTY, FLORIDA GENERAL CIVIL J DIVISION CASE NO.: 2024-CA-002327 (NC) CON2444, LLC, a Florida limited liability company, Plaintiff, vs. JENNIFER HENRY F/K/A JENNIFER R. TANNER, INDIVIDUALLY AND AS PERSONAL REPRESENTATIVE OF THE ESTATE OF RUTH M. VAN HORN, DECEASED; JANUARY BELES F/K/A JANUARY HAWKINS; JOHN GLINATSIS; HAROLD HOLDER; TRISTAN DANIELS; JENAE L. VAN HORN; JESSICA VAN HORN A/K/A JESSICA ENGLISH; LANALE MARTIN A/K/A LANA LEE MARTIN A/K/A LANALE BUSKIRK MARTIN; UNKNOWN SUCCESSOR TRUSTEE OF THE CHESTER S. VAN HORN AND RUTH M. VAN HORN REVOCABLE LIVING TRUST U/A/D JULY 23, 1992; UNKNOWN BENEFICIARIES UNDER THE CHESTER S. VAN HORN AND RUTH M. VAN HORN REVOCABLE LIVING TRUST U/A/D JULY 23, 1992; THE ESTATE OF CHESTER S. VAN HORN, DECEASED; UNKNOWN HEIRS, DEVISEES, GRANTEES, BENEFICIARIES, ASSIGNEES, LIENORS, CREDITORS, TRUSTEES AND ALL OTHERS WHO MAY CLAIM AN INTEREST BY, THROUGH, UNDER OR AGAINST THE ESTATE OF CHESTER S. VAN HORN, DECEASED; THE ESTATE OF RUTH M. VAN HORN, DECEASED; UNKNOWN HEIRS, BENEFICIARIES, DEVISEES, GRANTEES, ASSIGNEES, LIENORS, CREDITORS, TRUSTEES AND ALL OTHERS WHO MAY CLAIM AN INTEREST BY, THROUGH, UNDER OR AGAINST THE ESTATE OF RUTH M. VAN HORN, DECEASED; THE ESTATE OF ALANDA HOLDER, DECEASED; UNKNOWN HEIRS, BENEFICIARIES, DEVISEES, GRANTEES, ASSIGNEES, LIENORS, CREDITORS, TRUSTEES AND ALL OTHERS WHO MAY CLAIM AN INTEREST BY, THROUGH, UNDER OR AGAINST THE ESTATE OF ALANDA HOLDER, DECEASED; THE ESTATE OF CHESTER R. VAN HORN A/K/A CHET VAN HORN,

partment, Attorneys for Plaintiff, whose address is Trade Centre South, Suite 700, 100 West Cypress Creek Road, Fort Lauderdale, FL 33309, and file the original with the Clerk within 30 days after the first publication of this notice in BUSINESS OBSERVER, on or before July 15, 2024; otherwise a default and a judgment may be entered against you for the relief demanded in the Complaint. If you are a person with a disability who needs any accommodation in order to participate in this proceeding, you are entitled, at no cost to you, to the provision of certain assistance. Please contact the Sarasota County Jury Office, P.O. Box 3079, Sarasota, Florida 34230-3079, (941)861-7400, at least seven (7) days before your scheduled court appearance, or immediately upon receiving this notification if the time before the scheduled appearance is less than seven (7) days; if you are hearing or voice impaired, call 711.

WITNESS MY HAND AND SEAL OF SAID COURT on this 3 day of June, 2024.

Karen E Rushing As Clerk of said Court (SEAL) By: G. Kopinsky As Deputy Clerk Greenspoon Marder, LLP, Default Department, Attorneys for Plaintiff, Trade Centre South, Suite 700, 100 West Cypress Creek Road, Fort Lauderdale, FL 33309 (22-000665-01) June 14, 21, 2024 24-01192S

DECEASED; UNKNOWN HEIRS, BENEFICIARIES, DEVISEES, GRANTEES, ASSIGNEES, LIENORS, CREDITORS, TRUSTEES AND ALL OTHERS WHO MAY CLAIM AN INTEREST BY, THROUGH, UNDER OR AGAINST THE ESTATE OF CHESTER R. VAN HORN A/K/A CHET VAN HORN, DECEASED; THE ESTATE OF MAE TAPP, DECEASED; AND UNKNOWN HEIRS, BENEFICIARIES, GRANTEES, ASSIGNEES, DEVISEES, LIENORS, CREDITORS, TRUSTEES AND ALL OTHERS WHO MAY CLAIM AN INTEREST BY, THROUGH, UNDER OR AGAINST THE ESTATE OF MAE TAPP, DECEASED; THE ESTATE OF JEFFERY VAN HORN, DECEASED; AND UNKNOWN HEIRS, BENEFICIARIES, DEVISEES, GRANTEES, ASSIGNEES, LIENORS, CREDITORS, TRUSTEES AND ALL OTHERS WHO MAY CLAIM AN INTEREST BY, THROUGH, UNDER OR AGAINST THE ESTATE OF JEFFERY VAN HORN, DECEASED; THE ESTATE OF CASSANDRA VAN HORN, DECEASED; UNKNOWN HEIRS, BENEFICIARIES, DEVISEES, GRANTEES, ASSIGNEES, LIENORS, CREDITORS, TRUSTEES AND ALL OTHERS WHO MAY CLAIM AN INTEREST BY, THROUGH, UNDER OR AGAINST THE ESTATE OF CASSANDRA VAN HORN, DECEASED; THE ESTATE OF JESSE L. VAN HORN, DECEASED; and UNKNOWN HEIRS, BENEFICIARIES, DEVISEES, GRANTEES, ASSIGNEES, LIENORS, CREDITORS, TRUSTEES AND ALL OTHERS WHO MAY CLAIM AN INTEREST BY, THROUGH, UNDER OR AGAINST THE ESTATE OF JESSE L. VAN HORN, DECEASED; Defendants. TO: UNKNOWN SUCCESSOR TRUSTEE OF THE CHESTER S. VAN HORN AND RUTH M. VAN HORN REVOCABLE LIVING TRUST U/A/D JULY 23, 1992; UNKNOWN BENEFICIARIES UNDER THE CHESTER S. VAN HORN AND RUTH M. VAN HORN REVOCABLE LIVING TRUST U/A/D JULY 23, 1992; THE ESTATE OF CHESTER S. VAN HORN, DECEASED; UNKNOWN HEIRS, BENEFICIARIES, DEVISEES,

NOTICE OF ACTION IN THE CIRCUIT COURT OF THE 12TH JUDICAL CIRCUIT, IN AND FOR SARASOTA COUNTY, FLORIDA.

CASE No. 2022 CA 004160 NC BANK OF NEW YORK MELLON TRUST COMPANY, N.A. AS TRUSTEE FOR MORTGAGE ASSETS MANAGEMENT SERIES I TRUST, Plaintiff vs. CHRISTA SCHOTT DUBSKY AKA CHRISTA S. DUBSKY, et al., Defendants TO: UNKNOWN HEIRS, DEVISEES, GRANTEES, ASSIGNEES, LIENORS, CREDITORS, TRUSTEES AND ALL OTHER PARTIES CLAIMING AN INTEREST BY, THROUGH, UNDER OR AGAINST THE ESTATE OF CHRISTA SCHOTT DUBSKY AKA CHRISTA S. DUBSKY, DECEASED 4103 BRAZILNUT AVE SARASOTA, FL 34234 YOU ARE HEREBY NOTIFIED that an action to foreclose a mortgage on the following described property located in Sarasota County, Florida: LOTS 10, 11, 12, 37, 38 & 39, BLOCK 4, BEVERLY TERRACE, ACCORDING TO THE PLAT THEREOF RECORDED IN PLAT BOOK 2, PAGE 126, OF THE PUBLIC RECORDS OF SARASOTA COUNTY, FLORIDA. has been filed against you, and you are required to serve a copy of your written defenses, if any, to this action, on Greenspoon Marder, LLP, Default De-

GRANTEES, ASSIGNEES, LIENORS, CREDITORS, TRUSTEES AND ALL OTHERS WHO MAY CLAIM AN INTEREST BY, THROUGH, UNDER OR AGAINST THE ESTATE OF CHESTER S. VAN HORN, DECEASED; THE ESTATE OF RUTH M. VAN HORN, DECEASED; UNKNOWN HEIRS, BENEFICIARIES, DEVISEES, GRANTEES, ASSIGNEES, LIENORS, CREDITORS, TRUSTEES AND ALL OTHERS WHO MAY CLAIM AN INTEREST BY, THROUGH, UNDER OR AGAINST THE ESTATE OF RUTH M. VAN HORN, DECEASED; THE ESTATE OF ALANDA HOLDER, DECEASED; UNKNOWN HEIRS, BENEFICIARIES, DEVISEES, GRANTEES, ASSIGNEES, LIENORS, CREDITORS, TRUSTEES AND ALL OTHERS WHO MAY CLAIM AN INTEREST BY, THROUGH, UNDER OR AGAINST THE ESTATE OF ALANDA HOLDER, DECEASED; THE ESTATE OF CHESTER R. VAN HORN A/K/A CHET VAN HORN, DECEASED; UNKNOWN HEIRS, BENEFICIARIES, DEVISEES, GRANTEES, ASSIGNEES, LIENORS, CREDITORS, TRUSTEES AND ALL OTHERS WHO MAY CLAIM AN INTEREST BY, THROUGH, UNDER OR AGAINST THE ESTATE OF CHESTER R. VAN HORN A/K/A CHET VAN HORN, DECEASED; THE ESTATE OF MAE TAPP, DECEASED; AND UNKNOWN HEIRS, BENEFICIARIES, DEVISEES, GRANTEES, ASSIGNEES, LIENORS, CREDITORS, TRUSTEES AND ALL OTHERS WHO MAY CLAIM AN INTEREST BY, THROUGH, UNDER OR AGAINST THE ESTATE OF MAE TAPP, DECEASED; THE ESTATE OF JEFFERY VAN HORN, DECEASED; AND UNKNOWN HEIRS, BENEFICIARIES, DEVISEES, GRANTEES, ASSIGNEES, LIENORS, CREDITORS, TRUSTEES AND ALL OTHERS WHO MAY CLAIM AN INTEREST BY, THROUGH, UNDER OR AGAINST THE ESTATE OF JEFFERY VAN HORN, DECEASED; THE ESTATE OF CASSANDRA VAN HORN, DECEASED; UNKNOWN HEIRS, BENEFICIARIES, DEVISEES, GRANTEES, ASSIGNEES, LIENORS, CREDITORS, TRUSTEES AND ALL OTHERS WHO MAY CLAIM AN INTEREST BY, THROUGH, UNDER OR AGAINST THE ESTATE OF CASSANDRA VAN HORN, DECEASED; THE ESTATE OF JESSE L. VAN HORN, DECEASED; and UNKNOWN HEIRS, BENEFICIARIES, DEVISEES, GRANTEES, ASSIGNEES, LIENORS, CREDITORS, TRUSTEES AND ALL

partment, Attorneys for Plaintiff, whose address is Trade Centre South, Suite 700, 100 West Cypress Creek Road, Fort Lauderdale, FL 33309, and file the original with the Clerk within 30 days after the first publication of this notice in BUSINESS OBSERVER, on or before July 15, 2024; otherwise a default and a judgment may be entered against you for the relief demanded in the Complaint.

If you are a person with a disability who needs any accommodation in order to participate in this proceeding, you are entitled, at no cost to you, to the provision of certain assistance. Please contact the Sarasota County Jury Office, P.O. Box 3079, Sarasota, Florida 34230-3079, (941)861-7400, at least seven (7) days before your scheduled court appearance, or immediately upon receiving this notification if the time before the scheduled appearance is less than seven (7) days; if you are hearing or voice impaired,

NOTICE TO CREDITORS IN THE CIRCUIT COURT FOR SARASOTA COUNTY FLORIDA FILE NO. 2024-CP-001052-NC PROBATE DIVISION FILE NUMBER. 2024-CP-001052-NC IN RE: ESTATE OF ROGER E. BRYANT, Deceased. The administration of the Estate of ROGER E. BRYANT, Deceased, File No. 2024-CP-001052-NC, whose date of death was August 24, 2023 is pending in the Circuit Court for Sarasota County, Florida, Probate Division, the address of which is P.O. Box 3079, Sarasota, FL 34230. The names and

addresses of the personal representative and the personal representative’s attorney are set forth below. ALL INTERESTED PERSONS ARE NOTIFIED THAT: All persons on whom this notice is served who have objections that challenge the validity of the will, the qualifications of the personal representative, venue, or jurisdiction of this Court are required to file their objections with this Court WITHIN THE LATER OF THREE MONTHS AFTER THE DATE OF

All creditors of the decedent and other persons having

OTHERS WHO MAY CLAIM AN INTEREST BY, THROUGH, UNDER OR AGAINST THE ESTATE OF JESSE L. VAN HORN, DECEASED; and all parties having or claiming to have any right, title or interest in the property herein described.

RESIDENCE UNKOWN You are hereby notified that an action for quiet title and declaratory relief with respect to the following described real property: LOT 803, VENICE GARDENS UNIT NO. 15, ACCORDING TO THE PLAT THEREOF, AS RECORDED IN PLAT BOOK 11, PAGE 18, OF THE PUBLIC RECORDS OF SARASOTA COUNTY, FLORIDA (442 Hickory Rd. Venice, FL 34293 // Parcel Identification No.: 0435-11-0027) has been filed against you, and you are required to serve a copy of your written defenses, if any, to it on LEVINE KELLOGG LEHMAN SCHNEIDER + GROSSMAN, LLP counsel for Plaintiff, whose address is Miami Tower, 100 SE 2nd Street, Suite 3600, Miami, Florida 33131, on or before July 15, 2024, a date which is within thirty (30) days after the first publication of this Notice in The Business Observer, and file the original with the Clerk of this Court either before service upon Plaintiffs’ attorney or immediately thereafter; otherwise a default will be entered against you for the relief demanded in the Amended Complaint. If you are a person with a disability who needs any accommodation in order to participate in this proceeding, you are entitled, at no cost to you, to the provision of certain assistance. Please contact the Sarasota County Jury Office, P.O. Box 3079, Sarasota, Florida 34230-3079, (941)861-7400, at least seven (7) days before your scheduled court appearance, or immediately upon receiving this notification if the time before the scheduled appearance is less than seven (7) days; if you are hearing or voice impaired, call 711. WITNESS my hand and the seal of this Court on this 7 day of June, 2024. KAREN E. RUSHING Clerk of the Circuit Court and County Comptroller (SEAL) G. Kopinsky as Deputy Clerk Levine Kellogg Lehman Schneider + Grossman, LLP

JUNE 21 - JUNE 27, 2024 BUSINESS OBSERVER SARASOTA COUNTY 24
SEAL
SAID COURT on this 3 day of June, 2024. KAREN E RUSHING
Clerk of said Court
G. Kopinsky
Deputy Clerk
LLP, Default Department, Attorneys for Plaintiff, Trade Centre South, Suite 700, 100 West Cypress Creek Road, Fort Lauderdale, FL 33309 (36615.0504) June 14, 21, 2024 24-01193S
call 711. WITNESS MY HAND AND
OF
As
(SEAL) By:
As
Greenspoon Marder,
Miami Tower 100 SE 2nd Street, Suite 3600 Miami, FL 33131 (305)403-8788 June 14, 21, 28; July 5, 2024 24-01205S SECOND INSERTION SECOND INSERTION SECOND INSERTION SECOND INSERTION SECOND INSERTION SECOND INSERTION SECOND INSERTION --- ACTIONS ---
FIRST
DAYS
THE
SERVICE
A
THIS
THEM.
against the decedent’s estate on whom a copy of this notice is served within three months after the date of the first
this notice must file their
this
THE LATER
THREE MONTHS
THE DATE
THE FIRST
TION OF THIS NOTICE OR THIRTY DAYS AFTER THE DATE OF SERVICE OF A COPY OF THIS NOTICE ON THEM. All other creditors of the decedent and persons having claims or demands against the decedent’s estate must file their claims with this Court WITHIN THREE MONTHS AFTER THE DATE OF THE FIRST PUBLICATION OF THIS NOTICE. ALL CLAIMS, DEMANDS, AND OBJECTION NOT SO FILED WILL BE FOREVER BARRED. The date of the first publication of this Notice is June 14, 2024. Person Giving Notice: Jeanne Currie 714 Tangerine Drive Lady Lake, FL 32159 Attorney for Perso. Rep: Michael T. Robertson, Attorney at Law 2201 Ringling Blvd. Ste. 205 Sarasota, FL 34237 June 14, 21, 2024 24-01215S --- ESTATE --THIRD INSERTION LEGAL NOTICE STATE OF SOUTH CAROLINA COUNTY OF GREENVILLE IN THE PROBATE COURT Case No.: 2023-EF-230-2541 Division: Probate Maria Girlesa Catano v. South Carolina Department of Health and Environmental Control, and Edwin Catano TO THE RESPONDENT ABOVE-NAMED: Edwin Catano June 7, 14, 21, 2024 24-01135S
THE
PUBLICATION OF THIS NOTICE OR THIRTY
AFTER
DATE OF
OF
COPY OF
NOTICE ON
claims or demands
publication of
claims with
Court WITHIN
OF
AFTER
OF
PUBLICA-

FIRST INSERTION

Notice Under Fictitious Name Law

According to Florida Statute Number 865.09

NOTICE IS HEREBY GIVEN that the undersigned, desiring to engage in business under the Fictitious Name of Iron House Enterprises located at 7282 55th Ave E, Ste 180 in the City of Bradenton, Manatee County, FL 34203 intends to register the said name with the Division of Corporations of the Department of State, Tallahassee, Florida.

Dated this 19th day of June, 2024. Brian Russell June 21, 2024 24-00963M

FIRST INSERTION

Notice of Self Storage Sale

Please take notice Hide-Away Storage – SR70 located at 4660 53rd Ave. E., Bradenton, FL 34203 intends to hold a sale to sell the property stored at the Facility by the below Occupants whom are in default at an Auction. The sale will occur as an online auction via www. storagetreasures.com on 7/10/2024 at 10:00AM. Unless stated otherwise the description of the contents are household goods, furnishings and garage essentials. Devin Baxter unit #6093; John Fizia unit #9058. This sale may be withdrawn at any time without notice. Certain terms and conditions apply. See manager for details. June 21, 28, 2024 24-00922M

MANATEE COUNTY LEGAL NOTICES

--- PUBLIC SALES ---

FIRST INSERTION

FIRST INSERTION

Notice Under Fictitious Name Law

According to Florida Statute Number 865.09

NOTICE IS HEREBY GIVEN that the undersigned, desiring to engage in business under the Fictitious Name of Iron House Creative located at 7282 55th Ave E, Ste 180 in the City of Bradenton, Manatee County, FL 34203 intends to register the said name with the Division of Corporations of the Department of State, Tallahassee, Florida. Dated this 19th day of June, 2024. Brian Russell June 21, 2024 24-00953M

FIRST INSERTION

Notice of Self Storage Sale

Please take notice Hide-Away Storage –West located at 8400 Cortez Rd., West Bradenton, FL 34210 intends to hold a sale to sell the property stored at the Facility by the below Occupants whom are in default at an Auction. The sale will occur as an online auction via www. storagetreasures.com on 7/10/2024 at 10:00AM. Unless stated otherwise the description of the contents are household goods, furnishings and garage essentials. Jasimine S Steger unit #00619; Dylan Morris unit #01560. This sale may be withdrawn at any time without notice. Certain terms and conditions apply. See manager for details. June 21, 28, 2024 24-00923M

FIRST INSERTION

Notice Under Fictitious Name Law

According to Florida Statute Number 865.09

NOTICE IS HEREBY GIVEN that the undersigned, desiring to engage in business under the Fictitious Name of Iron House Coaching located at 7282 55th Ave E, Ste 180 in the City of Bradenton, Manatee County, FL 34203 intends to register the said name with the Division of Corporations of the Department of State, Tallahassee, Florida. Dated this 19th day of June, 2024. Brian Russell June 21, 2024 24-00954M

FIRST INSERTION

Notice of Self Storage Sale

Please take notice Xpress Storage - Parrish located at 8709 Old Tampa Rd., Parrish, FL 34219 intends to hold a sale to sell the property stored at the Facility by the below list of Occupants whom are in default at an Auction. The sale will occur as an online auction via www. storagetreasures.com on 7/10/2024 at 10:00AM. Unless stated otherwise the description of the contents are household goods, furnishings and garage essentials. Khyle Hosh unit #5001; Louie Monticello unit #7015. This sale may be withdrawn at any time without notice. Certain terms and conditions apply. See manager for details. June 21, 28, 2024 24-00924M

Notice of Public Hearing and Board of Supervisors Meeting of the Stonegate Preserve Community Development District

The Board of Supervisors (the “Board”) of the Stonegate Preserve Community Development District (the “District”) will hold a public hearing and a meeting on July 25, 2024, at 11:00 a.m. at Harrison Ranch Clubhouse, 5755 Harrison Ranch Blvd., Parrish, Florida 34219.

The purpose of the public hearing is to receive public comments on the proposed adoption of the District’s fiscal year 2024-2025 proposed budget and the proposed levy of its annually recurring non-ad valorem special assessments for operation and maintenance to fund the items described in the proposed budget (the “O&M Assessments”).

At the conclusion of the public hearing, the Board will, by resolution, adopt a final budget, provide for the levy, collection, and enforcement of the O&M Assessments, and certify an assessment roll. A meeting of the Board will also be held where the Board may consider any other business that may properly come before it.

A copy of the proposed budget, preliminary assessment roll, and the agenda may be viewed on the District’s website at least 2 days before the meeting https://www.stonegatepreservecdd.net, or may be obtained by contacting the District Manager’s office via email at dbwallace@rizzetta.com or via phone at (813) 533-2950.

The table below presents the proposed schedule of the O&M Assessments. Amounts are preliminary and subject to change at the meeting and in any future year.

Land Use Total # of Units / Acres EAU Factor Proposed Annual O&M Assessment (including collection costs / early payment discounts)

Platted

The O&M Assessments (in addition to debt assessments, if any) will appear on the November 2024 county property tax bill. Amount shown includes all applicable collection costs. Property owner is eligible for a discount of up to 4% if paid early.

The County Tax Collector will collect the assessments for all lots and parcels within the District. Alternatively, the District may elect to directly collect its assessments in accordance with Chapter 190, Florida Statutes. Failure to pay the District’s assessments will cause a tax certificate to be issued against the property which may result in a loss of title or a foreclosure action to be filed against the property. All affected property owners have the right to appear at the public hearing and to file written objections with the District within 20 days of publication of this notice.

The public hearing and meeting are open to the public and will be conducted in accordance with the provisions of Florida law for community development districts. They may be continued to a date, time, and place to be specified on the record at the hearing or meeting. There may be occasions when staff or Board members may participate by speaker telephone.

In accordance with the provisions of the Americans with Disabilities Act, any person requiring special accommodations because of a disability or physical impairment should contact the District Manager’s office at least 2 business days prior to the meeting. If you are hearing or speech impaired, please contact the Florida Relay Service at 711 or 1-800-955-8771 (TTY), or 1-800-955-8770 (voice) for aid in contacting the District Manager’s office.

Each person who decides to appeal any decision made by the Board with respect to any matter considered at the public hearing or meeting is advised that person will need a record of proceedings and that accordingly, the person may need to ensure that a verbatim record of the proceedings is made, including the testimony and evidence upon which such appeal is to be based.

FIRST INSERTION

Notice of Public Hearing and Board of Supervisors Meeting of the Prosperity Lakes Community Development District

The Board of Supervisors (the “Board”) of the Prosperity Lakes Community Development District (the “District”) will hold

public hearing and a meeting on July 25, 2024, at 11:00 a.m. at

Florida 34219.

The purpose of the public hearing is to receive public comments on the proposed adoption of the District’s

proposed budget and the proposed levy of its annually recurring non-ad valorem special assessments for operation and maintenance to fund the items described in the proposed budget (the “O&M Assessments”).

At the conclusion of the public hearing, the Board will, by resolution, adopt a final budget, provide for the levy, collection, and enforcement of the O&M Assessments, and certify an assessment roll. A meeting of the Board will also be held where the Board may consider any other business that may properly come before it.

A copy of the proposed budget, preliminary assessment roll, and the agenda may be viewed on the District’s website at least 2 days before the meeting https://www.prosperitylakescdd.org, or may be obtained by contacting the District Manager’s office via email at dbwallace@rizzetta.com or via phone at (813) 533-2950.

The table below presents the proposed schedule of the O&M Assessments. Amounts are preliminary and subject to change at the meeting and in any future year.

Land Use Total # of Units / Acres EAU Factor Proposed Annual O&M Assessment (including collection

The O&M Assessments (in addition to debt assessments, if any) will appear on the November 2024 county property tax bill. Amount shown includes all applicable collection costs. Property owner is eligible for a discount of up to 4% if paid early.

The County Tax Collector will collect the assessments for all lots and parcels within the District. Alternatively, the District may elect to directly collect its assessments in accordance with Chapter 190, Florida Statutes. Failure to pay the District’s assessments will cause a tax certificate to be issued against the property which may result in a loss of title or a foreclosure action to be filed against the property. All affected property owners have the right to appear at the public hearing and to file written objections with the District within 20 days of publication of this notice.

The public hearing and meeting are open to the public and will be conducted in accordance with the provisions of Florida law for community development districts. They may be continued to a date, time, and place to be specified on the record at the hearing or meeting. There may be occasions when staff or Board members may participate by speaker telephone.

In accordance with the provisions of the Americans with Disabilities Act, any person requiring special accommodations because of a disability or physical impairment should contact the District Manager’s office at least 2 business days prior to the meeting. If you are hearing or speech impaired, please contact the Florida Relay Service at 711 or 1-800-955-8771 (TTY), or 1-800-955-8770 (voice) for aid in contacting the District Manager’s office.

Each person who decides to appeal any decision made by the Board with respect to any matter considered at the public hearing or meeting is advised that person will need a record of proceedings and that accordingly, the person may need to ensure that a verbatim record of the proceedings is made, including the testimony and evidence upon which such appeal is to be based.

Debby Bayne-Wallace District Manager

25 JUNE 21 - JUNE 27, 2024 BusinessObserverFL.com
MANATEE COUNTY
Single Family 40’ 54 1.00 $1,293.83 Single Family 55’ 125 1.10 $1,423.22 Single Family 65’ 43 1.30 $1,681.98 Townhomes 124 .40 $517.53 Unplatted Single Family 50’ 107 1.00 $187.54 Single Family 55’ 157 1.10 $206.30 Single Family 65’ 180 1.30 $243.81
June 21, 2024 24-00944M BUCKEYE ROAD INTERSTATE75 INTERSTATE75 US 41 EXISTING RAILROAD EXISTING RAILROAD STONEGATE PRESERVE MOCCASIN WALLOW ROAD 36TH AVENUE GRASS FARM ROAD CARTER ROAD INTERSTATE 275 85TH STREET E OLDUS41 BISHOP HARBOR BISHOP HARBOR ROAD COPYRIGHT 2021, HEIDT DESIGN, LLC. ALL RIGHTS RESERVED. DOCUMENTATION (INCLUDING BUT NOT LIMITED DRAWINGS EXHIBITS) MAY COPIED, REPRODUCED, DISTRIBUTED UNLESS SPECIFIC WRITTEN PERMISSION Stonegate Preserve CDD Location Map Manatee County
Clubhouse,
Harrison Ranch Blvd.,
a
Harrison Ranch
5755
Parrish,
fiscal
2024-2025
year
costs / early payment discounts) Platted Townhomes 78 0.44 $1,015.80 Single Family 40’ 80 0.80 $1,846.92 Single Family 50’ 73 1.00 $2,308.65 Single Family 60’ 81 1.20 $2,770.38 Villa (AA) 100 0.64 $1,477.53 Single Family 50’ (AA) 114 1.00 $2,308.65 Single Family 60” (AA) 40 1.20 $2,770.38 Unplatted Townhomes 114 0.44 $29.08 Single Family 40’ 294 0.80 $52.88 Single Family 50’ 235 1.00 $66.10 Single Family 60’ 298 1.20 $79.32 Villa (AA) 86 0.64 $42.30 Single Family 50’ (AA) 346 1.00 $66.10 Single Family 60’ (AA) 224 1.20 $79.32
June 21, 2024 24-00945M Sources: Esri, HERE, Garmin, USGS, Intermap, INCREMENT P, NRCan, Esri Japan, METI, Esri China (Hong Kong), Esri Korea, Esri (Thailand), NGCC, (c) OpenStreetMap contributors, and the GIS User Community TELEPHONE 941.748.8080 FAX 941.748.3316 THIS MAP IS PROVIDED FOR GRAPHICAL REPRESENTATION AND GENERAL REFERENCE ONLY. THE DATA CONTAINED HEREIN IS SUBJECT TO CHANGE AND IS NOT WARRANTED. N VICINITY MAP SECTIONS 7,8,9, & 10 TOWNSHIP 33 SOUTH, RANGE 19 EAST PROSPERITY LAKES SCALE: 1" = 5,000' MANATEE COUNTY, FLORIDA

ASSOCIATION, INC.

TO: Bernard Bessette

Carole Bessette 18 Chaplin Street Pawtucket, RI 02861

David Moysey a/k/a

David Moysey, Deceased a/k/a

David G. Moysey a/k/a

David G. Moysey, Deceased

Any and All Known and Unknowm

Heirs, Devisees, Grantees or Assignees of David Moysey a/k/a

David Moysey, Deceased a/k/a

David G. Moysey a/k/a

David G. Moysey, Deceased

The Estate of David Moysey a/k/a

David Moysey, Deceased a/k/a

David G. Moysey a/k/a

David G. Moysey, Deceased

Any and All Known and Unknown Heirs, Devisees, Grantees or Assignees of the Estate of David Moysey a/k/a

David Moysey, Deceased a/k/a

David G. Moysey a/k/a

David G. Moysey, Deceased 229 Crawford Drive Golden, CO 80401-4882

PSC 3 Box 5732

APO, AP 96266 YOU ARE HEREBY NOTIFIED of an action for non judicial foreclosure of timeshare units and weeks listed in the Claim of Lien filed and recorded for GULF STREAM BEACH RESORT CONDOMINIUM ASSOCIATION, INC. on May 20, 2024 as Instrument Number 202441051952 of the Public Records of Manatee County, Florida. The units and weeks listed in attached Exhibit “A” are for the following described real property located in MANATEE COUNTY, STATE OF FLORIDA: Unit Numbers and Week Numbers (as described on attached Exhibit “A”) of Gulf Stream Beach Resort, a condominium, according to the Declaration of Condominium thereof recorded

in Official Records Book 1447, Page 1879, Public Records of Manatee County, Florida, and all amendments thereof, which condominium is also described at Condominium Plat Book 28, Pages 39-41, Public Records of Manatee County, Florida. The assessment lien created by the Claim of Lien was properly created and authorized, pursuant to the timeshare instrument and applicable law, and the amounts secured by said lien is as set forth in attached Exhibit “A” along with the per diem interest. You may cure the default at any time prior to the issuance of the Certificate of Sale by paying the amount due to the undersigned Trustee at the address set forth below within thirty (30) days of first publication date of this Notice of Action.

If you fail to cure the default as set forth in this notice or take other appropriate action with regard to this foreclosure matter, you risk losing ownership of your timeshare interest through the trustee foreclosure procedure established in §721.855, Florida Statutes. You may choose to sign and send to the trustee an objection form exercising your right to object to the use of the trustee foreclosure procedure by calling or writing the trustee set forth below for a copy of the objection form. Upon the trustee’s receipt of your signed objection form, the foreclosure of the lien with respect to the default specified in this action shall be subject to the judicial foreclosure procedure only. You have the right to cure your default in the manner set forth in this notice at any time before the trustee’s sale of your timeshare interest. If you do not object to the use of the trustee foreclosure procedure, you will not be subject to a deficiency judgment even if the proceeds from the sale of your timeshare interest are insufficient to offset the amounts secured by the lien.

You are required to object in writing. Objections are to be mailed to the trustee, Theresa A. Deeb, Esquire, at 6677 13th Avenue North, Suite 3A, St.

Petersburg, FL 33710 vvithin thirty (30) days of the first publication date of this Notice of Action.

DEEB LAW GROUP, P.A. /s/ Theresa A. Deeb

THERESA A. DEEB, ESQUIRE 6677 13th Avenue North, Suite 3A

St. Petersburg, FL 33710 (727) 384-5999/

Fax No. (727) 384-5979

Fla. Bar No. 76661

Primary Email Address: tadeeb@deeblawgroup.com

Secondary Email address: snieratko@deeblawgroup.com

Trustees for Gulf Stream Beach Resort

Condominium Association, Inc. EXHIBIT “A”

Bernard Bessette

Carole Bessette

18 Chaplin Street

Pawtucket, RI 02861

Unit 03, Week 13

$752.00

Per Diem Interest $.37

David Moysey a/k/a

David Moysey, Deceased a/k/a

David G. Moysey a/k/a

David G. Moysey, Deceased

Any and All Known and Unknown

Heirs, Devisees, Grantees or Assignees of David Moysey a/k/a

David Moysey, Deceased a/k/a

David G. Moysey a/k/a

David G. Moysey, Deceased

The Estate of David Moysey a/k/a

David Moysey, Deceased a/k/a

David G. Moysey a/k/a

David G. Moysey, Deceased

Any and All Known and Unknown

Heirs, Devisees, Grantees or Assignees of the Estate of David Moysey a/k/a David Moysey, Deceased a/k/a David G. Moysey a/k/a

David G. Moysey, Deceased

229 Crawford Drive Golden, CO 80401-4882

PSC 3 Box 5732

APO, AP 96266

Unit 01, Week 08

$774.01 Per Diem Interest $.38 June 21, 28, 2024 24-00950M

FIRST INSERTION

Notice Under Fictitious Name Law

According to Florida Statute Number 865.09

NOTICE IS HEREBY GIVEN that the undersigned, desiring to engage in business under the Fictitious Name of Iron House Publishing located at 7282 55th Ave E, Ste 180 in the City of Bradenton, Manatee County, FL 34203 intends to register the said name with the Division of Corporations of the Department of State, Tallahassee, Florida. Dated this 19th day of June, 2024. Brian Russell June 21, 2024 24-00955M

FIRST INSERTION

Notice Under Fictitious Name Law

Pursuant to Section 865.09, Florida Statutes

NOTICE IS HEREBY GIVEN that the undersigned, desiring to engage in business under the fictitious name of Sun Coast Kooler Ice located at 4654 East State Road 64 #184 , in the County of Manatee, in the City of Bradenton, Florida 34208 intends to register the said name with the Division of Corporations of the Florida Department of State, Tallahassee, Florida.

Dated at Bradenton, Florida, this 14th day of June, 2024.

WHITE FEATHER VENTURES LLC June 21, 2024 24-00933M

Notice Under Fictitious Name Law Pursuant to Section 865.09, Florida Statutes

NOTICE IS HEREBY GIVEN that the undersigned, desiring to engage in business under the fictitious name of Pro Signatures located at 12436 Natureview Cir, in the County of Manatee, in the City of Bradenton, Florida 34212 intends to register the said name with the Division of Corporations of the Florida Department of State, Tallahassee, Florida. Dated at Bradenton, Florida, this 17th day of June, 2024. SEASWAN LLC June 21, 2024 24-00943M

FIRST INSERTION

Notice of Self Storage Sale

Please take notice Hide-Away Storage – 32nd Street located at 4305 32nd St. W., Bradenton, FL 34205 intends to hold a sale to sell the property stored at the Facility by the below list of Occupants whom are in default at an Auction. The sale will occur as an online auction via www.storagetreasures. com on 7/10/2024 at 10:00AM. Unless stated otherwise the description of the contents are household goods, furnishings and garage essentials. Ana Maria Germanson unit #00226; Jennifer R Fretz-Smith unit #00905; Jesus Moreno unit #00939; Enrique Gonzalez unit #01273; Cortrell Chauni Lee unit #01343; Steven Rosario unit #01823. This sale may be withdrawn at any time without notice. Certain terms and conditions apply. See manager for details.

June 21, 28, 2024 24-00917M

INSERTION Notice Under Fictitious Name Law According to Florida Statute Number 865.09

NOTICE IS HEREBY GIVEN that the undersigned, desiring to engage in business under the Fictitious Name of Iron House Productions located at 7282 55th Ave E, Ste 180 in the City of Bradenton, Manatee County, FL 34203 intends to register the said name with the Division of Corporations of the Department of State, Tallahassee, Florida.

Dated this 19th day of June, 2024.

Brian Russell June 21, 2024 24-00956M

FIRST INSERTION

Notice Under Fictitious Name Law Pursuant to Section 865.09, Florida Statutes

NOTICE IS HEREBY GIVEN that the undersigned, desiring to engage in business under the fictitious name of Caliber Services located at 1411 43rd Avenue Dr W, in the County of Manatee, in the City of Palmetto, Florida 334221 intends to register the said name with the Division of Corporations of the Florida Department of State, Tallahassee, Florida. Dated at Palmetto, Florida, this 17th day of June, 2024. Mark Gambla June 21, 2024 24-00941M

FIRST INSERTION

NOTICE OF PUBLIC SALE

Notice is hereby given that on 7/5/2024 at 10:30 am, the following mobile home will be sold at public auction pursuant to F.S. 715.109. 1960 TRTWD HS B144 . Last Tenants: JANICE E MERRITT, THOMAS W MERRITT SR, ESTATE OF THOMAS W MERRITT SR AND ALL UNKNOWN PARTIES, BENEFICIARIES, HEIRS, SUCCESSORS, AND ASSIGNS OF THOMAS W MERRITT SR. Sale to be at CITRUS GROVE HOME OWNERS ASSOCIATION INC DBA CITRUS GROVE ESTATES, 12 PALMWOOD, BRADENTON, FL 34208. 813-241-8269. June 21, 28, 2024 24-00958M

FIRST INSERTION

Notice of Self Storage Sale

Please take notice Hide-Away Storage – Ellenton, located at 2900 US 301 N., Ellenton, FL 34222 intends to hold a sale to sell the property stored at the Facility by the below Occupants whom are in default at an Auction. The sale will occur as an online auction via www. storagetreasures.com on 7/10/2024 at 10:00AM. Unless stated otherwise the description of the contents are household goods, furnishings and garage essentials. Tahree' Yawn unit #00182; Jacole Snyder unit #00781; Mykeal Blaine Agirre unit #00837; Tom Scholz unit #01276; Joe Gavel unit #LT063; Ana L Flores unit #LT075. This sale may be withdrawn at any time without notice. Certain terms and conditions apply. See manager for details. June 21, 28, 2024 24-00919M

FIRST INSERTION

Notice of Self Storage Sale

34203 intends to register the said name with the Division of Corporations of the Department of State, Tallahassee, Florida. Dated this 19th day of June, 2024. Brian Russell June 21, 2024 24-00957M

the fictitious name of Showdog Lemonade located at 8615 Bayshore Rd Lot 13, in the County of Manatee, in the City of Palmetto, Florida 34221 intends to register the said name with the Division of Corporations of the Florida Department of State, Tallahassee, Florida. Dated at Palmetto, Florida, this 17th day of June, 2024. DAVAN FOOD

FIRST INSERTION

units #00208 & #01707; Claudia Sampson unit #01311; Daniel Joseph Joppek unit #01658. Certain terms and conditions apply. See manager for details. June 21, 28, 2024 24-00918M

FIRST INSERTION

Notice of Self Storage Sale Please take notice Hide-Away Storage – Lakewood Ranch located at 14710 SR 64 East, Bradenton FL 34212 intends to hold a sale to sell the property stored at the Facility by the below Occupants whom are in default at an Auction. The sale will occur as an online auction via www.storagetreasures.com on 7/10/2024 at 10:00AM. Unless stated otherwise the description of the contents are household goods, furnishings and garage essentials. Nancy Rhine unit #A422; Richard Fults unit #RVC22 contents: 2008 KZRV Travel trailer VIN: 4EXFS322087115431. This sale may be withdrawn at any time without notice. Certain terms and conditions apply. See manager for details. June 21, 28, 2024 24-00920M

Please take notice Hide-Away Storage – Palmetto located at 2015 8th Ave. W., Palmetto FL 34221 intends to hold a sale to sell the property stored at the Facility by the below Occupants whom are in default at an Auction. The sale will occur as an online auction via www.storagetreasures.com on 7/10/2024 at 10:00AM. Unless stated otherwise the description of the contents are household goods, furnishings and garage essentials.

FIRST INSERTION

Notice of Self Storage Sale

Please take notice Xpress Storage – SR70 located at 1102 53rd Ave. W. Bradenton FL 34207 intends to hold a sale to sell the property stored at the Facility by the below list of Occupants whom are in default at an Auction. The sale will occur as an online auction via www.storagetreasures.com on 7/10/2024 at 10:00AM. Unless stated otherwise the description of the contents are household goods, furnishings and garage essentials. Paul Capella unit #2015; Craig Cobourn unit #3023; Ladarrious McNeil unit #3051; Wildarline Charles unit #3068; Sarah Christodora unit #3070; Jude L Edmond unit #3081; Patsy Robinson unit #4015; Dana Flores Lopez unit #4043; Carlos Leyva unit #4092. This sale may be withdrawn at any time without notice. Certain terms and conditions apply. See manager for details.

June 21, 28, 2024 24-00925M

NOTICE TO CREDITORS IN THE CIRCUIT COURT FOR MANATEE COUNTY, FLORIDA PROBATE DIVISION File No. 2024 CP 905 AX IN RE: ESTATE OF MARIE R. HESS, Deceased. The administration of the estate of MARIE R. HESS, deceased, whose date of death was November 23, 2023, is pending in the Circuit Court for Manatee County, Florida, Probate Division, the address of which is P.O. Box 25400, Bradenton, FL 34206. The names and addresses of the personal representatives and the personal representatives’ attorney are set forth below.

All creditors of the decedent and other persons having claims or demands against decedent’s estate on whom a copy of this notice is required to be served must file their claims with this court ON OR BEFORE THE LATER OF 3 MONTHS AFTER THE TIME

OF THE FIRST PUBLICATION OF THIS NOTICE OR 30 DAYS AFTER THE DATE OF SERVICE OF A COPY OF THIS NOTICE ON THEM. All other creditors of the decedent and other persons having claims or demands against decedent’s estate must file their claims with this court WITHIN 3 MONTHS AFTER THE DATE OF THE FIRST PUBLICATION OF THIS NOTICE. ALL CLAIMS NOT FILED WITHIN THE TIME PERIODS SET FORTH IN FLORIDA STATUTES SECTION 733.702 WILL BE FOREVER BARRED. NOTWITHSTANDING THE TIME PERIOD SET FORTH ABOVE, ANY CLAIM FILED TWO (2) YEARS OR MORE AFTER THE DECEDENT’S DATE OF DEATH IS BARRED. The date of first publication of this notice is June 21,

26 JUNE 21 - JUNE 27, 2024 BUSINESS OBSERVER
COUNTY
MANATEE
2024. Personal Representatives:
DALE HESS JR. 3349 Fallston Road Fallston, MD 21047 PATRICK L. HESS 3021 Clayton Road Joppa, MD 21085 MARTHA SCHUMACHER 3357 Fallston Road Fallston, MD 21047 PHILLIP HESS 13640 3rd Avenue NE Bradenton, FL 34212 Attorney for Personal Representatives: RIC GREGORIA Florida Bar No. 0908551 Williams Parker Harrison Dietz & Getzen 50 Central Avenue, Eighth Floor Sarasota, FL 34236 Telephone: 941-366-4800 Designation of Email Addresses for service: Primary: rgregoria@williamsparker.com Secondary: ltraver@williamsparker.com June 21, 28, 2024 24-00965M --- PUBLIC SALES ---
W.
FIRST
FIRST
INSERTION
Florida Statute Number
Notice Under Fictitious Name Law According to
865.09
HEREBY
undersigned, desiring to engage in
under the Fictitious Name of Iron House Partners located at 7282
Ave E, Ste 180 in the City of Bradenton, Manatee County, FL
NOTICE IS
GIVEN that the
business
55th
FIRST INSERTION Notice Under Fictitious Name Law Pursuant to Section 865.09, Florida Statutes
IS HEREBY
that
undersigned, desiring to engage in business under
FIRST
NOTICE
GIVEN
the
SERVICE, LLC June 21, 2024 24-00942M
INSERTION
Notice of Self Storage Sale Please take notice Hide-Away Storage – Central located at 3760 Cortez Rd., West Bradenton, FL 34210 intends to hold a sale to sell the property stored at the Facility by the below Occupants whom are in default at an Auction.
sale will occur as an online auction via www.storagetreasures.com on 7/10/2024 at 10:00AM. Unless stated otherwise the description of the contents are household goods, furnishings and garage essentials. David Wilcox unit #00112; Virginia Hathaway
The
Frank Santos unit #A028; Obi Able Tarwoe Sr unit #A080; Jennifer Alana Ball unit #B059; Keyunna Zacarre Ross unit #C021; Loreen Melilli unit #G12; Jacob Stephen Pfister unit #J24. This sale may be withdrawn at any time without notice. Certain terms and conditions apply. See manager for details. June 21, 28, 2024 24-00921M FIRST INSERTION --- ESTATE --NOTICE OF ACTION NON JUDICIAL TIMESHARE FORECLOSURES GULF STREAM BEACH RESORT CONDOMINIUM
FIRST INSERTION SP13859

FIRST INSERTION

NOTICE TO CREDITORS IN THE CIRCUIT COURT FOR

Manatee COUNTY, FLORIDA

PROBATE DIVISION

File No. 24 CP 1233 AXMA IN RE: ESTATE OF Jane E. Mitchell

Deceased. The administration of the estate of Jane E. Mitchell, deceased, File Number 24 CP 1233 AXMA, is pending in the Circuit Court for Manatee, County, Florida, Probate Division, the address of which is 1115 Manatee Ave West, Bradenton, FL 34205. The name and addresses of the personal representative and the personal representative’s attorney are set forth below.

All creditors of the decedent and other persons having claims or demands against decedent’s estate, including unmatured, contingent or unliquidated claims, on whom a copy of this notice is served must file their claims with this court WITHIN THE LATER OF 3 MONTHS AFTER THE DATE OF THE FIRST PUBLICATION OF THIS NOTICE OR 30 DAYS AFTER THE DATE OF SERVICE OF A COPY OF THIS NOTICE ON THEM. All other creditors of the decedent and other persons having claims or demands against the decedent’s estate, including unmatured, contingent or unliquidated claims, must file their claims with this court WITHIN 3 MONTHS AFTER THE DATE OF THE FIRST PUBLICATION OF THIS NOTICE. ALL CLAIMS NOT SO FILED WITHIN THE TIME PERIODS SET FORTH IN SECTION 733.702 OF THE FLORIDA PROBATE CODE WILL BE FOREVER BARRED. NOTWITHSTANDING THE TIME PERIODS SET FORTH ABOVE, ANY CLAIM FILED TWO (2) YEARS OR MORE AFTER THE DECEDENT’S

DATE OF DEATH IS BARRED.

The date of first publication of this Notice is June 21, 2024.

Personal Representative: Jill Marie Zemianek

David Lee Carlson, PA P.O. Box 660786 Miami Springs, FL., 33266 Cell: 305-505-8266

Noleson@aol.com

Attorney for Personal Representative: Florida Bar No. 0708320

David Lee Carlson, PA P.O. Box 660786 Miami Springs, FL., 33266

Cell: 305-505-8266

Noleson@aol.com

June 21, 28, 2024 24-00938M

FIRST INSERTION NOTICE TO CREDITORS IN THE CIRCUIT COURT FOR THE TWELVTH JUDICIAL CIRCUIT IN AND FOR MANATEE COUNTY, FLORIDA

PROBATE DIVISION FILE NO. 2024CP001244AX IN RE: ESTATE OF DONALD VINCENT, DECEASED. The administration of the estate of DONALD VINCENT, deceased, whose date of death was April 6, 2024, is pending in the Circuit Court for MANATEE County, Florida, Probate Division, the address of which is 1115 Manatee Ave W, Bradenton, FL 34205. The names and addresses of the personal representative and the personal representative’s attorney are set forth below.

All creditors of the decedent and other persons having claims or demands against decedent’s estate on whom a copy of this notice is required to be served must file their claims with this court ON OR BEFORE THE LATER OF 3 MONTHS AFTER THE TIME OF THE FIRST PUBLICATION OF THIS NOTICE OR 30 DAYS AFTER THE DATE OF SERVICE OF A COPY OF THIS NOTICE ON THEM.

All other creditors of the decedent and other persons having claims or demands against decedent’s estate must file their claims with this court WITHIN 3 MONTHS AFTER THE DATE OF THE FIRST PUBLICATION OF THIS NOTICE. ALL CLAIMS NOT FILED WITHIN THE TIME PERIODS SET FORTH IN FLORIDA STATUTES SECTION 733.702 WILL BE FOREVER BARRED. NOTWITHSTANDING THE TIME PERIODS SET FORTH ABOVE, ANY CLAIM FILED TWO (2) YEARS OR MORE AFTER THE DECEDENT’S DATE OF DEATH IS BARRED. The date of first publication of this notice is June 21, 2024. Personal Representative: Holly Vincent

c/o BATTAGLIA, ROSS, DICUS & MCQUAID, P.A.

5858 Central Avenue

St. Petersburg, Florida 33707

Attorney for Personal Representative: LAMA ALQASEMI, ESQ.

Florida Bar Number: 1024651

BATTAGLIA, ROSS, DICUS & MCQUAID, P.A.

5858 Central Avenue

St. Petersburg, Florida 33707

Telephone: (727) 381-2300

Fax: (727) 343-4059

Primary E-Mail: lalqa@brdwlaw.com

FIRST INSERTION

NOTICE TO CREDITORS IN THE CIRCUIT COURT FOR MANATEE COUNTY FLORIDA

PROBATE DIVISION File Number: 2024-CP-1225-AX

DIVISON: MORELAND IN RE: ESTATE OF VERLIE HELENA HILL a/k/a VERLIE KALKA

Deceased.

The administration of the estate of VERLIE HILL a/k/a VERLIE HELENA HILL a/k/a VERLIE KALKA, deceased, whose date of death was March 2, 2024, is pending in the Circuit Court for Manatee County, Florida, Probate Division, the address of which is 1115 Manatee Avenue W., Bradenton, FL 34205. The names and addresses of the personal representative and the personal representative’s attorney are set forth below.

All creditors of the decedent and other persons having claims or demands against decedent’s estate on whom a copy of this notice is required to be served must file their claims with this court ON OR BEFORE THE LATER OF 3 MONTHS AFTER THE TIME OF THE FIRST PUBLICATION OF THIS NOTICE OR 30 DAYS AFTER THE DATE OF SERVICE OF A COPY OF THIS NOTICE ON THEM.

All other creditors of the decedent and other persons having claims or demands against decedent’s estate must file their claims with this court WITHIN 3 MONTHS AFTER THE DATE OF THE FIRST PUBLICATION OF THIS NOTICE.

ALL CLAIMS NOT FILED WITHIN THE TIME PERIODS SET FORTH IN FLORIDA STATUTES SECTION 733.702 WILL BE FOREVER BARRED.

NOTWITHSTANDING THE TIME PERIODS SET FORTH ABOVE, ANY CLAIM FILED TWO (2) YEARS OR MORE AFTER THE DECEDENT’S DATE OF DEATH IS BARRED.

The date of first publication of this notice is June 21, 2024.

Personal Representative: DOROTHY FIELDS 3025 Auburn Folsom Road Newcastle, CA 95658

Attorney for Personal Representative: THOMAS C. WALSER, ESQ. Florida Bar No. 381578 Walser Law Firm 4800 N. Federal Highway, Suite 108D Boca Raton, FL 33431 Telephone: (561) 750-1040 E-mail Address: twalser@walserlaw.com June 21, 28, 2024 24-00930M

FIRST INSERTION

NOTICE TO CREDITORS IN THE CIRCUIT COURT FOR MANATEE COUNTY, FLORIDA PROBATE DIVISION File No. 2024-CP-819 Division Probate IN RE: ESTATE OF: PATRICIA E. MATTHEWS Deceased. The administration of the estate of PATRICIA E MATTHEWS, deceased, whose date of death was November 11, 2023; is pending in the Circuit Court for Manatee County, Florida, Probate Division, the address of which is 1115 Manatee Avenue West, Bradenton, Florida 34205. The names and addresses of the personal representative and the personal representative’s attorney are set forth below.

All creditors of the decedent and other persons having claims or demands against decedent’s estate, on whom a copy of this notice is required to be served, must file their claims with this court ON OR BEFORE THE LATER OF 3 MONTHS AFTER THE TIME OF THE FIRST PUBLICATION OF THIS NOTICE OR 30 DAYS AFTER THE DATE OF SERVICE OF A COPY OF THIS NOTICE ON THEM. All other creditors of the decedent and other persons having claims or demands against decedent’s estate must file their claims with this court WITHIN 3 MONTHS AFTER THE DATE OF THE FIRST PUBLICATION OF THIS NOTICE.

ALL CLAIMS NOT FILED WITHIN THE TIME PERIODS SET FORTH IN FLORIDA STATUTES SECTION 733.702 WILL BE FOREVER BARRED.

NOTWITHSTANDING THE TIME PERIOD SET FORTH ABOVE, ANY CLAIM FILED TWO (2) YEARS OR MORE AFTER THE DECEDENT’S DATE OF DEATH IS BARRED. The date of first publication of this notice is: June 21, 2024

JAMES SIEGFRIED

Personal Representative 7246 Cedar Hollow Circle Bradenton, Florida 34203

CAROL BLACKWELL Personal Representative 5424 31st Place Meridian, MS 38305

Thomas A. Moseley

Attorney for Personal Representatives Email: tom@bradentonattorneyatlaw.com

Secondary Email: michoeh @bradentonattorneyatlaw.com Florida Bar No. 333689

FIRST INSERTION

NOTICE TO CREDITORS IN THE CIRCUIT COURT FOR MANATEE COUNTY, FLORIDA PROBATE DIVISION File No. 2024-CP-1410

Division Probate IN RE: ESTATE OF DIANE S. GANNOTT

Deceased.

The administration of the estate of Diane S. Gannott, deceased, whose date of death was April 25, 2024, is pending in the Circuit Court for Manatee County, Florida, Probate Division, the address of which is P.O. Box 25400, Bradenton, Florida 34206. The names and addresses of the personal representative and the personal representative’s attorney are set forth below. All creditors of the decedent and other persons having claims or demands against decedent’s estate on whom a copy of this notice is required to be served must file their claims with this court ON OR BEFORE THE LATER OF 3 MONTHS AFTER THE TIME OF THE FIRST PUBLICATION OF THIS NOTICE OR 30 DAYS AFTER THE DATE OF SERVICE OF A COPY OF THIS NOTICE ON THEM.

All other creditors of the decedent and other persons having claims or demands against decedent’s estate must file their claims with this court WITHIN 3 MONTHS AFTER THE DATE OF THE FIRST PUBLICATION OF THIS NOTICE.

ALL CLAIMS NOT FILED WITHIN THE TIME PERIODS SET FORTH IN FLORIDA STATUTES SECTION 733.702 WILL BE FOREVER BARRED. NOTWITHSTANDING THE TIME PERIODS SET FORTH ABOVE, ANY CLAIM FILED TWO (2) YEARS OR MORE AFTER THE DECEDENT’S DATE OF DEATH IS BARRED.

The date of first publication of this notice is June 21, 2024.

Personal Representative: Laura R. Donovan c/o Boyer & Boyer, P.A.

46 N Washington Blvd, Ste 21 Sarasota, FL 34236

Attorney for Personal Representative: Katherine M. Fall, Esq.

Florida Bar Number: 1008504

BOYER & BOYER, P.A.

46 N Washington Blvd, Ste 21 Sarasota, FL 34236

Telephone: (941) 365-2304

Fax: (941) 364-9896

Email: kate@boyerboyer.com

Secondary Email: service@boyerboyer.com June 21, 28, 2024 24-00966M

FIRST INSERTION

NOTICE TO CREDITORS IN THE CIRCUIT COURT FOR MANATEE COUNTY, FLORIDA

PROBATE DIVISION

File No. 2024-CP-001180 Division PROBATE IN RE: ESTATE OF J. DAVID TUCKER, aka JAMES D. TUCKER Deceased.

The administration of the estate of J. DAVID TUCKER, also known as JAMES D. TUCKER, deceased, whose date of death was March 25, 2024, is pending in the Circuit Court for Manatee County, Florida, Probate Division, the address of which is P.O. Box 25400, Bradenton, FL 34206. The names and addresses of the personal representative and the personal representative’s attorney are set forth below.

All creditors of the decedent and other persons having claims or demands against decedent’s estate, on whom a copy of this notice is required to be served, must file their claims with this court ON OR BEFORE THE LATER OF 3 MONTHS AFTER THE TIME OF THE FIRST PUBLICATION OF THIS NOTICE OR 30 DAYS AFTER THE DATE OF SERVICE OF A COPY OF THIS NOTICE ON THEM.

All other creditors of the decedent and other persons having claims or demands against decedent’s estate must file their claims with this court WITHIN 3 MONTHS AFTER THE DATE OF THE FIRST PUBLICATION OF THIS NOTICE.

ALL CLAIMS NOT FILED WITHIN THE TIME PERIODS SET FORTH IN FLORIDA STATUTES SECTION 733.702 WILL BE FOREVER BARRED. NOTWITHSTANDING THE TIME PERIOD SET FORTH ABOVE, ANY CLAIM FILED TWO (2) YEARS OR MORE AFTER THE DECEDENT’S DATE OF DEATH IS BARRED.

The date of first publication of this notice is: June 21, 2024. Signed on this 26 day of April, 2024. /s/ Sally M. Fitzsimon

SALLY M. FITZSIMON

Personal Representative 2123 Oak Wild St. San Antonio, TX 78232

/s/ William E. Gaylor

William E. Gaylor, III

Attorney for Personal Representative Florida Bar No. 0834350

FIRST INSERTION NOTICE TO CREDITORS IN THE CIRCUIT COURT FOR MANATEE COUNTY, FLORIDA PROBATE DIVISION File No. 2024-CP-1075 IN RE: ESTATE OF ROBERT JEROME GIBSON A/K/A ROBERT J. GIBSON, Deceased. The administration of the estate of ROBERT JEROME GIBSON A/K/A ROBERT J. GIBSON, deceased, whose date of death was MARCH 19, 2024, is pending in the Circuit Court for MANATEE County, Florida, Probate Division, the address of which is P.O. BOX 25400, BRADENTON, FL 34206. The names and addresses of the personal representative and the personal representative’s attorney are set forth below.

All creditors of the decedent and other persons having claims or demands against decedent’s estate on whom a copy of this notice is required to be served must file their claims with this court ON OR BEFORE THE LATER OF 3 MONTHS AFTER THE TIME OF THE FIRST PUBLICATION OF THIS NOTICE OR 30 DAYS AFTER THE DATE OF SERVICE OF A COPY OF THIS NOTICE ON THEM.

All other creditors of the decedent and other persons having claims or demands against decedent’s estate must file their claims with this court WITHIN 3 MONTHS AFTER THE DATE OF THE FIRST PUBLICATION OF THIS NOTICE.

ALL CLAIMS NOT FILED WITHIN THE TIME PERIODS SET FORTH IN FLORIDA STATUTES SECTION 733.702 WILL BE FOREVER BARRED. NOTWITHSTANDING THE TIME PERIODS SET FORTH ABOVE, ANY CLAIM FILED TWO (2) YEARS OR MORE AFTER THE DECEDENT’S DATE OF DEATH IS BARRED.

The date of first publication of this notice is: June 21, 2024. /S/ REG ROBERT ERIK GIBSON

Personal Representative PO BOX 242, TERRA CEIA, FL 34250 /S/ JJH

JENNIFER J. HENSLEY, ESQUIRE

Attorney for Personal Representative

Primary Email: tmlaw.jen@gmail.com

Secondary Email: jhlaw.lisa@gmail.com

Florida Bar No. 1022202

5190 26th Street West, Suite D

Bradenton, FL 34207

Telephone: (941) 755-8583

June 21, 28, 2024 24-00959M

FIRST INSERTION NOTICE TO CREDITORS IN THE CIRCUIT COURT FOR MANATEE COUNTY, FLORIDA PROBATE DIVISION File No. 2024CP000599AX Division: PROBATE IN RE: ESTATE OF DAVID R. O’BRIEN, Deceased.

The administration of the estate of David R. O’Brien, deceased, whose date of death was January 12, 2024, is pending in the Circuit Court for Manatee County, Florida, Probate Division, the address of which is 1115 Manatee Ave West, Bradenton, FL 34205. The names and addresses of the personal representative and the personal representative’s attorney are set forth below.

All creditors of the decedent and other persons having claims or demands against decedent’s estate on whom a copy of this notice is required to be served must file their claims with this court ON OR BEFORE THE LATER OF 3 MONTHS AFTER THE TIME OF THE FIRST PUBLICATION OF THIS NOTICE OR 30 DAYS AFTER THE DATE OF SERVICE OF A COPY OF THIS NOTICE ON THEM.

All other creditors of the decedent and other persons having claims or demands against decedent’s estate must file their claims with this court WITHIN 3 MONTHS AFTER THE DATE OF THE FIRST PUBLICATION OF THIS NOTICE.

ALL CLAIMS NOT FILED WITHIN THE TIME PERIODS SET FORTH IN FLORIDA STATUTES

SECTION 733.702 WILL BE FOREVER BARRED.

NOTWITHSTANDING THE TIME PERIODS SET FORTH ABOVE, ANY CLAIM FILED TWO (2) YEARS OR MORE AFTER THE DECEDENT’S DATE OF DEATH IS BARRED.

The date of first publication of this notice is June 21, 2024. Personal Representative: Karen O’Brien

c/o The Payne Law Group, PLLC 766 Hudson Ave., Suite C Sarasota, FL 34236

Attorney for Personal Representative: Teresa A. Monfils, Esq. Florida Bar Number: 1019949

The Payne Law Group, PLLC

FIRST INSERTION

NOTICE TO CREDITORS IN THE CIRCUIT COURT FOR MANATEE COUNTY, FLORIDA PROBATE DIVISION File No. 2024-CP-1031

Division Probate IN RE: ESTATE OF PEGGY JO DITARANTO, Deceased.

The administration of the estate of PEGGY JO DITARANTO, deceased, whose date of death was September 6, 2021; File Number 2024-CP-1031, is pending in the Circuit Court for Manatee County, Florida, Probate Division, the address of which is P.O. Box 3000, Bradenton, FL 34206. The names and addresses of the personal representatives and the personal representatives’ attorney are set forth below.

All creditors of the decedent and other persons having claims or demands against decedent’s estate, on whom a copy of this notice is required to be served, must file their claims with this court ON OR BEFORE THE LATER OF 3 MONTHS AFTER THE TIME OF THE FIRST PUBLICATION OF THIS NOTICE OR 30 DAYS AFTER THE DATE OF SERVICE OF A COPY OF THIS NOTICE ON THEM.

All other creditors of the decedent and other persons having claims or demands against decedent’s estate must file their claims with this court WITHIN 3 MONTHS AFTER THE DATE OF THE FIRST PUBLICATION OF THIS NOTICE.

ALL CLAIMS NOT FILED WITHIN THE TIME PERIODS SET FORTH IN FLORIDA STATUTES SECTION 733.702 WILL BE FOREVER BARRED.

NOTWITHSTANDING THE TIME PERIOD SET FORTH ABOVE, ANY CLAIM FILED TWO (2) YEARS OR MORE AFTER THE DECEDENT’S DATE OF DEATH IS BARRED.

The date of first publication of this notice is: June 21, 2024. Signed on this 19 day of June, 2024. JAMES L. DITARANTO

Personal Representative 4060 Roberts Point Rd. Sarasota, FL 34242 ROBIN L. DAVIS

Personal Representative 13127 Sydney Road Dover, FL 33527 W. Lee McGinness Attorney for Personal Representatives Florida Bar No. 0520550 MacLeod McGinness & Bowman, P.A. 1800 Second Street Sarasota, FL 34236

Telephone: 941-954-8788

Email: lee@mandm-law.com

Secondary Email: jenny@mandm-law.com

June 21, 28, 2024 24-00964M

FIRST INSERTION NOTICE TO CREDITORS IN THE CIRCUIT COURT FOR MANATEE COUNTY, FLORIDA PROBATE DIVISION File No. 2024 CP 1220 AX Division Probate IN RE: ESTATE OF DAVID H. LEVI Deceased.

The administration of the estate of David H. Levi, deceased, whose date of death was April 27, 2024, is pending in the Circuit Court for Manatee County, Florida, Probate Division, the address of which is 1115 Manatee Ave W, Bradenton, FL 34205. The names and addresses of the personal representative and the personal representative’s attorney are set forth below.

All creditors of the decedent and other persons having claims or demands against decedent’s estate on whom a copy of this notice is required to be served must file their claims with this court ON OR BEFORE THE LATER OF 3 MONTHS AFTER THE TIME OF THE FIRST PUBLICATION OF THIS NOTICE OR 30 DAYS AFTER THE DATE OF SERVICE OF A COPY OF THIS NOTICE ON THEM.

All other creditors of the decedent and other persons having claims or demands against decedent’s estate must file their claims with this court WITHIN 3 MONTHS AFTER THE DATE OF THE FIRST PUBLICATION OF THIS NOTICE.

ALL CLAIMS NOT FILED WITHIN THE TIME PERIODS SET FORTH IN FLORIDA STATUTES SECTION 733.702 WILL BE FOREVER BARRED.

NOTWITHSTANDING THE TIME PERIODS SET FORTH ABOVE, ANY CLAIM FILED TWO (2) YEARS OR MORE AFTER THE DECEDENT’S DATE OF DEATH IS BARRED.

The date of first publication of this notice is June 21, 2024.

Personal Representative: Laura Ellen Mitzelfelt 38 Pepperbush Lane

Guilford, Connecticut 06437

Attorney for Personal Representative: Ira Stewart Wiesner, Esq.

Attorney Florida Bar Number: 222887

NOTICE TO

CIRCUIT

IN

FLORIDA PROBATE DIVISION File No. 2023-CP-001996 Division Probate IN RE: ESTATE OF

J. MADDEN, A/KA BARNEY JOSEPH MADDEN Deceased. The administration of the estate of BARNEY J. MADDEN, a/k/a BARNEY JOSEPH MADDEN, deceased, whose date of death was October 31, 2019, is pending in the Circuit Court for Manatee County, Florida, Probate Division, the address of which is 1051 Manatee Avenue West, Bradenton, Florida 34205. The names and addresses of the personal representative and the personal representative’s attorney are set forth below. All creditors of the decedent and other persons having claims or demands against decedent’s estate on whom a copy of this notice is required to be served must file their claims with this court ON OR BEFORE THE LATER OF 3 MONTHS AFTER THE TIME OF THE FIRST PUBLICATION OF THIS NOTICE OR 30 DAYS AFTER THE DATE OF SERVICE OF A COPY OF THIS NOTICE ON THEM. All other creditors of the decedent and other persons having claims or demands against decedent’s estate must file their claims with this court WITHIN 3 MONTHS AFTER THE DATE OF THE FIRST PUBLICATION OF THIS NOTICE. ALL CLAIMS NOT FILED WITHIN THE TIME PERIODS SET FORTH IN FLORIDA STATUTES SECTION 733.702 WILL BE FOREVER BARRED. NOTWITHSTANDING THE TIME PERIODS SET FORTH ABOVE, ANY CLAIM FILED TWO (2) YEARS OR MORE AFTER THE DECEDENT’S DATE OF DEATH IS BARRED. The date of first publication of this notice is June 21, 2024. Personal Representative: VIKKI L. HUDSON, a/k/a VIKKI LYNN HUDSON c/o Jenna Kyle Meltzer, Esquire Blalock Walters, P.A. 802 11th Street West Bradenton, Florida 34205-7734 Attorney for Personal Representative: JENNA KYLE MELTZER, Attorney Florida Bar Number: 1028517 Blalock Walters, P.A. 802 11th Street West Bradenton, Florida 34205-7734 Telephone: (941) 748.0100 Fax: (941) 745.2093 E-Mail: jmeltzer@blalockwalters.com

Secondary E-Mail: jschembri@blalockwalters.com

Alternate Secondary E-Mail: alepper@blalockwalters.com June 21, 28, 2024 24-00952M

FIRST INSERTION NOTICE TO CREDITORS IN THE CIRCUIT COURT FOR MANATEE COUNTY, FLORIDA PROBATE DIVISION Case No. 2024 CP 1288 JUDGE DIANA MORELAND IN RE: ESTATE OF WRILSHXER MENDOZA Deceased The administration of the Estate of Wrilshxer Mendoza, deceased, whose date of death was February 9, 2024, is pending in the Circuit Court for Manatee County, Florida, Probate Division, the address of which is 1115 Manatee Avenue West, Bradenton, Florida 34205. The names and addresses of the personal representative and the personal representative’s attorney are set forth below. All creditors of the decedent and other persons having claims or demands against decedent’s estate on whom a copy of this notice is required to be served must file their claims with this court ON OR BEFORE THE LATER OF THREE (3) MONTHS AFTER THE TIME OF THE FIRST PUBLICATION OF THIS NOTICE OR THIRTY (30) DAYS AFTER THE DATE OF SERVICE OF A COPY OF THIS NOTICE ON THEM. All other creditors of the decedent and other persons having claims or demands against decedent’s estate must file their claims with this court WITHIN THREE (3) MONTHS AFTER THE DATE OF THE FIRST PUBLICATION OF THIS NOTICE. ALL CLAIMS NOT FILED WITHIN THE TIME PERIODS SET FORTH IN FLORIDA STATUTES SECTION 733.702 WILL BE FOREVER BARRED. NOTWITHSTANDING THE TIME PERIOD SET FORTH ABOVE, ANY CLAIM FILED TWO (2) YEARS OR MORE AFTER THE DECEDENT’S DATE OF DEATH IS BARRED.

The date of first publication

Muirhead, Gaylor, Steves & Waskom, P.A. 901 Ridgewood Ave. Venice, FL 34285

Thomas A. Moseley, Chartered 1724 Manatee Avenue West Bradenton, Florida 34205 Telephone: 941-747-8185 June 21, 28, 2024 24-00937M

Telephone: 941-484-3000

Email: chip.gaylor@mgswlaw.com

Secondary Email: beth.waskom@mgswlaw.com June 21, 28, 2024 24-00929M

766 Hudson Ave., Suite C Sarasota, FL 34236

Telephone: (941) 487-2800

Fax: (941) 487-2801

E-Mail: tmonfils@lawnav.com

ADVOCATES IN AGING WIESNER SMITH PLLC 328 N Rhodes Avenue Sarasota, Florida 34237

Telephone: (941) 365-9900

Fax: (941) 365-4479

E-Mail: sherri@wiesnerlaw.com

Secondary E-Mail: rachel@wiesnerlaw.com June 21, 28, 2024 24-00939M

27 JUNE 21 - JUNE 27, 2024 BusinessObserverFL.com MANATEE COUNTY
Jennifer L. Hamey, PA 3815 US Highway 301 N Ellenton, FL 34222 (941) 932-6217 jenniferhamey@gmail.com June 21, 28, 2024 24-00946M
of this Notice is June 21, 2024. Personal Representative: CONNIE MENDOZA (AKA MARIE C. MENDOZA-JAMES) 4904 Forest Creek Trail Parrish, Florida 34219 Attorney for Personal Representative: JENNIFER L. HAMEY (0123046)
21, 28, 2024 24-00947M
Secondary E-Mail: nikkimonfils@lawnav.com June
Secondary E-Mail: probatecasemgr@brdwlaw.com Attorney for Petitioner June 21, 28, 2024 24-00948M
FIRST INSERTION
CREDITORS
THE
COURT FOR MANATEE COUNTY,
BARNEY
--- ESTATE ---

AMENDED NOTICE AND ORDER TO SHOW CAUSE IN THE CIRCUIT COURT OF THE TWELFTH JUDICIAL CIRCUIT OF THE STATE OF FLORIDA, IN AND FOR MANATEE COUNTY, FLORIDA GENERAL CIVIL DIVISION CASE NO: 2023-CA-6233

SOUTHPOINTE OF MANATEE COUNTY COMMUNITY

DEVELOPMENT DISTRICT, a local unit of special-purpose government organized and existing under the laws of the State of Florida, Plaintiff, v. THE STATE OF FLORIDA, AND THE TAXPAYERS, PROPERTY OWNERS AND CITIZENS OF SOUTHPOINTE OF MANATEE COUNTY COMMUNITY DEVELOPMENT DISTRICT, INCLUDING NON -RESIDENTS OWNING PROPERTY OR SUBJECT TO TAXATION THEREIN, AND OTHERS HAVING OR CLAIMING ANY RIGHTS, TITLE OR INTEREST IN PROPERTY TO BE AFFECTED BY THE ISSUANCE OF THE BONDS HEREIN DESCRIBED, OR TO BE AFFECTED IN ANY WAY THEREBY, Defendant. TO THE STATE OF FLORIDA, AND THE TAXPAYERS, PROPERTY OWNERS AND CITIZENS OF SOUTHPOINTE OF MANATEE COUNTY COMMUNITY DEVELOPMENT DISTRICT, INCLUDING NON-RESIDENTS OWNING PROPERTY OR SUBJECT TO TAXATION THEREIN, AND OTHERS HAVING OR CLAIMING ANY RIGHT, TITLE OR INTEREST IN PROPERTY TO BE AFFECTED BY THE ISSUANCE OF SOUTHPOINTE OF MANATEE COUNTY COMMUNITY DEVEL-

OPMENT DISTRICT SPECIAL ASSESSMENT BONDS AND LEVY OF SPECIAL ASSESSMENTS, OR TO BE AFFECTED IN ANY WAY THEREBY: Southpointe of Manatee County Community Development District (the “District”) having filed its Complaint for validation of not to exceed $35,000,000 Southpointe of Manatee County Community Development District Special Assessment Bonds, in one or more series (the “Bonds”) and the special assessments levied securing such Bonds pursuant to Chapters 170, 190, and 197, Florida Statutes (the “Special Assessments”), and it appearing in and from said Complaint and the Exhibits attached thereto that the District has adopted a resolution authorizing the issuance of the Bonds for the purpose of providing funds, together with other available funds, for paying the costs of planning, financing, acquiring, constructing, reconstructing, equipping and installing improvements as part of its Project (as defined in said Complaint), and it also appearing that all of

the facts required to be stated by said Complaint and the Exhibits by Chapter 75, Florida Statutes, are contained therein, and that the District prays that this Court issue an order as directed by said Chapter 75, and the Court being fully advised in the premises: NOW, THEREFORE, IT IS ORDERED that all taxpayers, property owners and citizens of the District, including non-residents owning property or subject to taxation, and others having or claiming any rights, title or interest in property to be affected by the issuance of the Bonds and levy of Special Assessments, or to be affected in any way thereby, and the State of Florida, through the State Attorney of the Twelfth Judicial Circuit, in and for Manatee County, Florida (the “Parties”), appear on Wednesday, August 28, 2024, at 1:30 p.m. before the Honorable Ryan Felix, via Zoom Application (information below), and show cause if any there be why the prayers of said Complaint for the validation of the Bonds should not be granted and the Bonds, the proceedings therefore, and other matters set forth in said Complaint, should not be validated as prayed for in said Complaint. The parties and public may access the hearing via the following Zoom link: www.zoom.us, Meeting ID: 971 0511 7699, Password 525253, or by calling (786) 635-1003 and using the aforementioned Meeting ID.

IT IS FURTHER ORDERED that prior to the date set for the hearing on said Complaint for validation, the Clerk of this Court shall cause a copy of this Amended Notice and Order to be published in a newspaper published and of general circulation in Manatee County, being the County wherein said Complaint for validation is filed, at least once each week for two (2) consecutive weeks, commencing with the first publication which shall not be less than twenty (20) days prior to the date set for said hearing.

IT IS FURTHER ORDERED that by such publication of this Amended Notice and Order, the State of Florida, and the several taxpayers, property owners and citizens of the District, including non-residents owning property or subject to taxation therein, and others having or claiming any rights, title or interest in property to be affected by the issuance of the Bonds and levy of Special Assessments, or to be affected in any way thereby, shall be and are made party defendants to this proceeding, and that this Court shall have jurisdiction of them to the same extent as if specifically and personally named as defendants in said Complaint and personally served with process in this cause.

DONE AND ORDERED in Manatee County, Florida this 13th day of June, 2024.

The Honorable Ryan Felix Circuit Court Judge June 21, 28, 2024 24-00936M

What makes public notices in newspapers superior to other forms of notices?

Public notices in newspapers are serendipitous. When readers page through a newspaper, they will find important public notice information they otherwise would not find anywhere else.

Rarely do consumers specifically search online for public notices.

NOTICE OF ACTION IN THE CIRCUIT COURT OF THE TWELFTH JUDICIAL CIRCUIT IN AND FOR MANATEE COUNTY, FLORIDA

CASE NO.: 2024 CA 000690 NEWREZ LLC DBA SHELLPOINT MORTGAGE SERVICING, Plaintiff, vs. UNKNOWN HEIRS, BENEFICIARIES, DEVISEES, SURVIVING SPOUSE, GRANTEES, ASSIGNEE, LIENORS, CREDITORS, TRUSTEES, AND ALL OTHER PARTIES CLAIMING AN INTEREST BY, THROUGH, UNDER, OR AGAINST THE ESTATE OF MARION A. SPICER, DECEASED; et al., Defendant(s). TO: Unknown Heirs, Beneficiaries, Devisees, Surviving Spouse, Grantees, Assignee, Lienors, Creditors, Trustees, and All Other Parties Claiming an Interest By, Through, Under, or Against The Estate of Marion A. Spicer, deceased Last Known Residence: Unknown YOU ARE NOTIFIED that an action to foreclose a mortgage on the following property in MANATEE County, Florida: LOT 8, BLOCK C, WINDSOR PARK, FIRST UNIT, ACCORDING TO THE PLAT THEREOF, RECORDED IN PLAT BOOK 12, PAGES 38 AND 39, OF THE PUBLIC RECORDS OF MANATEE COUNTY, FLORIDA. has been filed against you and you are

NOTICE OF ACTION IN THE CIRCUIT COURT OF THE TWELFTH WDICIAL CIRCUIT, IN AND FOR MANATEE COUNTY, FLORIDA. CASE No. 412024CA000521CAAXMA

WELLS FARGO BANK N.A., AS TRUSTEE, FOR CARRINGTON MORTGAGE LOAN TRUST, SERIES 2006-NC2 ASSET-BACKED PASS-THROUGH CERTIFICATES, PLAINTIFF, VS. CYNTHIA L. MISCHE A/K/A CYNTHIA LOUISE MISCHE, ET AL.

DEFENDANT(S). To: THE UNKNOWN HEIRS, BENEFICIARIES, DEVISEES, GRANTEES, ASSIGNORS, CREDITORS AND TRUSTEES OF THE ESTATE OF JOHN M. PETROVIC A/K/A JOHN MICHAEL PETROVIC (DECEASED) RESIDENCE: UNKNOWN

LAST KNOWN ADDRESS: 4516 57th Street West, Bradenton, FL 34210

YOU ARE HEREBY NOTIFIED that an action to foreclose a mortgage on the following described property located in Manatee County, Florida: LOT 22, CORTEZ ESTATES, FIRST ADDITION, ACCORDING TO THE PLAT THEREOF RECORDED IN PLAT BOOK 11, PAGE 73, OF THE PUBLIC RECORDS OF MANATEE COUNTY, FLORIDA.

has been filed against you, and you are required to serve a copy of your written defenses, if any, to this action, on Tromberg, Morris & Poulin, PLLC, attorneys for Plaintiff, whose address is 600 West Hillsboro Boulevard, Suite 600, Deerfield Beach, FL 33441, and file the original with the Clerk of the Court, within

NOTICE OF ACTION IN THE CIRCUIT COURT OF THE TWELFTH JUDICIAL CIRCUIT IN AND FOR MANATEE COUNTY, FLORIDA

CIRCUIT CIVIL DIVISION CASE NO.: 2024CA620 U.S. BANK TRUST NATIONAL ASSOCIATION, AS TRUSTEE FOR LB-CABANA SERIES IV TRUST, Plaintiff, v. JANET LEE DAVIS A/K/A JANET DAVIS, et al., Defendants.

TO: JANET LEE DAVIS A/K/A JANET DAVIS

UNKNOWN SPOUSE OF JANET LEE

DAVIS A/K/A JANET L. DAVIS

UNKNOWN TENANT #1

UNKNOWN TENANT #2

Last Known Address: 2208 1st Avenue East, Palmetto, FL 34221

YOU ARE HEREBY NOTIFIED that an action to foreclosure a mortgage on the following property located in Manatee County, Florida: LOTS 3 AND 7, BLOCK 11, HOUGHTON`S ADDITION TO THE TOWN OF NEW MEMPHIS, ACCORDING TO THE MAP OR PLAT THEREOF, AS RECORDED IN PLAT BOOK 1, PAGE 147 OF THE PUBLIC RECORDS OF MANATEE COUNTY, FLORIDA, IN THE NW 1/4 OF THE SW 1/4 OF SECTION 12, TOWNSHIP 34 SOUTH, RANGE 17 EAST OF SAID COUNTY. including the buildings, appurtenances, and fixture located thereon.

Property Address: 2208 1st Avenue East, Palmetto, FL 34221 (the “Property”).

filed against you and you are required to serve a copy of your written defenses, if any, to it on HARRIS S. HOWARD, ESQ., of HOWARD LAW, Plaintiff’s attorney, whose address is 4755 Technology Way, Suite 104 Boca Raton, FL

required to serve a copy of your written defenses, if any, to it on ALDRIDGE PITE, LLP, Plaintiff’s attorney, at 5300 West Atlantic Avenue Suite 303 Delray Beach, FL 33484, on or before 30 days from first publication, and file the original with the clerk of this court either before service on Plaintiff’s attorney or immediately thereafter; otherwise a default will be entered against you for the relief demanded in the complaint or petition.

If you are a person with a disability who needs any accommodations in order to participate in this proceeding, you are entitled, at no cost to you, to the provision of certain assistance. Please contact the Manatee County Jury Office, P.O. Box 25400, Bradenton, Florida 34206, (941) 7414062, at least seven (7) days before your scheduled court appearance, or immediately upon receiving this notification if the time before the scheduled appearance is less than seven (7) days; if you are hearing or voice impaired, call 711. Dated on June 13th, 2024. Angelina Colonneso Manatee County Clerk of The Circuit Court (SEAL) By: /s/ K. Gaffney As Deputy Clerk

ALDRIDGE PITE, LLP, Plaintiff’s attorney, 5300 West Atlantic Avenue Suite 303 Delray Beach, FL 33484

1113-14652B Ref# 8189 June 21, 28, 2024 24-00931M

30 days after the first publication of this notice, otherwise a default may be entered against you for the relief demanded in the Complaint. This notice shall be published once a week for two consecutive weeks in the Business Observer.

In and for Manatee County

If you cannot afford an attorney, contact Gulfcoast Legal Services at (941) 7466151 or www.gulfcoastlegal.org, or Legal Aid of Manasota at (941) 747-1628 or www.legalaidofmanasota.org. If you do not qualify for free legal assistance or do not know an attorney, you may email an attorney referral service (listed in the phone book) or contact the Florida Bar Lawyer Referral Service at (800) 3428011.

If you are a person with a disability who needs any accommodations in order to participate in this proceeding, you are entitled, at no cost to you, to the provision of certain assistance. Please contact the Manatee County Jury Office, P.O. Box 25400, Bradenton, Florida 34206, (941) 7414062, at least seven (7) days before your scheduled court appearance, or immediately upon receiving this notification if the time before the scheduled appearance is less than seven (7) days; if you are hearing or voice impaired, call 711.

Date: 6/12/2024

Angelina Colonneso Clerk of the Circuit Court (SEAL) By: Kris Gaffney Deputy Clerk of the Court Tromberg, Morris & Poulin, PLLC attorneys for Plaintiff 600 West Hillsboro Boulevard Suite 600 Deerfield Beach, FL 33441

Our Case #: 23-001323/412024CA000521CAAXMA/CMS June 21, 28, 2024 24-00934M

33431 no later than 30 days from the date of the first publication of this Notice of Action and file the original with the Clerk of this Court either before service on Plaintiff’s attorney or immediately thereafter; otherwise a default will be entered against you for the relief demanded in the Complaint or petition filed herein.

In and for Manatee County

If you cannot afford an attorney, contact Gulfcoast Legal Services at (941) 7466151 or www.gulfcoastlegal.org, or Legal Aid of Manasota at (941) 747-1628 or www.legalaidofmanasota.org. If you do not qualify for free legal assistance or do not know an attorney, you may email an attorney referral service (listed in the phone book) or contact the Florida Bar Lawyer Referral Service at (800) 3428011. If you are a person with a disability who needs any accommodations in order to participate in this proceeding, you are entitled, at no cost to you, to the provision of certain assistance. Please contact the Manatee County Jury Office, P.O. Box 25400, Bradenton, Florida 34206, (941) 741-4062, at least seven (7) days before your scheduled court appearance, or immediately upon receiving this notification if the time before the scheduled appearance is less than seven (7) days; if you are hearing or voice impaired, call 711. WITNESS my hand and seal of this Court at Manatee, Florida on this 12TH day of June, 2024. Angelina Colonneso Manatee County Clerk of The Circuit Court (SEAL) By: Kris Gaffney Deputy Clerk HARRIS S. HOWARD, ESQ.,

NOTICE OF ACTION (formal notice by publication)

IN THE CIRCUIT COURT FOR MANATEE COUNTY, FLORIDA PROBATE DIVISION File No. 2024-CP-000958

IN RE: ESTATE OF BONNIE JO MUSELLA, Deceased.

TO: UNKNOWN NIECE OF BONNIE JO MUSELLA

YOU ARE NOTIFIED that a Notice of Administration has been filed in this court. You are required to serve a copy of your written defenses, if any, on petitioner’s attorney, whose name and address are: Robert D. Hines, Esq., Hines Norman Hines, P.L., 1312 W. Fletcher Avenue, Suite B, Tampa, FL 33612 on or before July 25, 2024, and to file the original of the written defenses with the clerk of this court either before service or immediately thereafter. Failure to serve and file written defenses as required may result in a judgment or order for the relief demanded, without further notice. If you are a person with a disability who needs any accommodations in order to participate in this proceeding, you are entitled, at no cost to you, to the provision of certain assistance. Please contact the Manatee County Jury Office, P.O. Box 25400, Bradenton, Florida 34206, (941) 741-4062, at least seven (7) days before your scheduled court appearance, or immediately upon receiving this notification if the time before the scheduled appearance is less than seven (7) days; if you are hearing or voice impaired, call 711. Signed on this 13th day of June, 2024. First Publication in Busines Observer on: June 21, 2024. Angelina Colonneso, Manatee County Clerk of The Circuit Court (SEAL) By: /s/ K. Gaffney As Deputy Clerk Robert D. Hines, Esq., Hines Norman Hines, P.L., 1312 W. Fletcher Avenue, Suite B, Tampa, FL 33612

NOTICE OF ACTION IN THE CIRCUIT COURT OF THE TWELFTH JUDICIAL CIRCUIT OF FLORIDA IN AND FOR MANATEE COUNTY GENERAL JURISDICTION DIVISION CASE NO. 412024CA000619CAAXMA

PENNYMAC LOAN SERVICES, LLC, Plaintiff, vs. MARY ANN PRATER A/K/A MARY PRATER, et al., Defendant. To: SHAVON TANIS WILLIAMS A/K/A SHAVON WILLIAMS, 5547 LANSDOWNE WAY, PALMETTO, FL 34221 LAST KNOWN ADDRESS STATED, CURRENT RESIDENCE UNKNOWN YOU ARE HEREBY NOTIFIED that an action to foreclose Mortgage covering the following real and personal proerty described as follows, to-wit: LOT 134, WATERFORD PHASES IA, II AND IIA, ACCORDING TO THE PLAT THEREOF AS RECORDED AT PLAT BOOK 43, PAGES 172 THROUGH 178, OF THE PUBLIC RECORDS OF MANATEE COUNTY, FLORIDA has been filed against you and you are required to file a copy of your written defenses, if any, to it on Morgan B Lea, Esq, McCalla Raymer Leibert Pierce, LLC, 225 East Robinson Street, Suite 155, Orlando, FL 32801 and file the original with the Clerk of the abovestyled Court on or before 30 days fom the first publication, otherwise a Judg-

NOTICE OF ACTION IN THE CIRCUIT COURT OF THE TWELFTH JUDICIAL CIRCUIT JUDICIAL CIRCUIT, IN AND FOR MANATEE COUNTY, FLORIDA CIVIL DIVISION CASE NO.: 2024CA000385AX MORTGAGE ASSETS MANAGEMENT, LLC PLAINTIFF, VS. UNKNOWN HEIRS, BENEFICIARIES, DEVISEES, ASSIGNEES, LIENORS, CREDITORS, TRUSTEES AND ALL OTHERS WHO MAY CLAIM AN INTEREST IN THE ESTATE OF WANDA J. MCKINLEY A/K/A WANDA BAYS MCKINLEY A/K/A WANDA B. MCKINLEY A/K/A WANDA MCKINLEY A/K/A WANDA J. BAYS A/K/A WANDALENE JEANETTE MCKINLEY A/K/A WANDALENE JEANETTE BAYS MCKINLEY, ET AL., DEFENDANT(S).

TO: Unknown Heirs, Beneficiaries, Devisees, Assignees, Lienors, Creditors, Trustees and all others who may claim an interest in the estate of Wanda J. McKinley A/K/A Wanda Bays McKinley A/K/A Wanda B. McKinley A/K/A Wanda McKinley A/K/A Wanda J. Bays A/K/A Wandalene Jeanette McKinley A/K/A Wandalene Jeanette Bays McKinley

Last Known Address: 3078 Lake Bayshore Dr Blg O-122, Bradenton, FL 34205

Current Residence: UNKNOWN

TO: Unknown Heirs, Beneficiaries, Devisees, Assignees, Lienors, Creditors, Trustees and All Others Who May Claim an Interest in The Estate of Jack R. McKinley Jr A/K/A Jack McKinley Jr A/K/A Jack P. McKinley

Last Known Address: 3078 Lake Bayshore Dr Blg O-122, Bradenton, FL 34205

Current Residence: UNKNOWN

TO: Unknown Spouse of Jack R. McKinley Sr. A/K/A Jack Ray McKinley

A/K/A Jack R. McKinley A/K/A Jack McKinley

Last Known Address: 3078 Lake Bayshore Dr Blg O-122, Bradenton, FL 34205

Current Residence: UNKNOWN YOU ARE NOTIFIED that an action for Foreclosure of Mortgage on the following described property: UNIT 122, BUILDING O, BAYSHORE ON THE LAKE CONDOMINIUM APARTMENTS, PHASE III, SECTION 1, A CONDOMINIUM ACCORD-

ment may be entered against you for the relief demanded in the Complaint. In and for Manatee County: If you cannot afford an attorney, contact Gulfcoast Legal Services at (941) 7466151 or www.gulfcoastlegal.org, or Legal Aid of Manasota at (941) 747-1628 or www.legalaidofmanasota.org. If you do not qualify for free legal assistance or do not know an attorney, you may email an attorney referral service (listed in the phone book) or contact the Florida Bar Lawyer Referral Service at (800) 3428011. If you are a person with a disability who needs any accommodations in order to participate in this proceeding, you are entitled, at no cost to you, to the provision of certain assistance. Please contact the Manatee County Jury Office, P.O. Box 25400, Bradenton, Florida 34206, (941) 741-4062, at least seven (7) days before your scheduled court appearance, or immediately upon receiving this notification if the time before the scheduled appearance is less than seven (7) days; if you are hearing or voice impaired, call 711. WITNESS my hand and seal of said Court on the 12th day of June, 2024. Angelina Colonneso CLERK OF THE CIRCUIT COURT As Clerk of the Court (SEAL) BY: Kris Gaffney Deputy Clerk Morgan B Lea, Esq, McCalla Raymer Leibert Pierce, LLC, 225 East Robinson Street, Suite 155, Orlando, FL 32801 24-09318FL June 21, 28, 2024 24-00926M

ING TO THE DECLARATION OF CONDOMINIUM, RECORDED IN O.R. BOOK 1064, PAGES 1505 THROUGH 1531, AND RE-RECORDED IN O.R. BOOK 1064, PAGE 2802, AND ANY AND ALL AMENDMENTS THERETO, AND AS PER PLAT THEREOF RECORDED IN CONDOMINIUM BOOK 15, PAGES 62 AND 63, PUBLIC RECORDS OF MANATEE COUNTY, FLORIDA. has been filed against you and you are required to serve a copy of your written defenses, if any, to it, on MILLER, GEORGE & SUGGS, PLLC, Attorney for Plaintiff, whose address is 210 N. University Drive, Suite 900, Coral Springs, FL 33071, before a date at least thirty (30) days after the first publication of this Notice in the The Business Observer, 1970 Main Street, 3rd Floor, Sarasota, FL 34236 and file the original with the Clerk of this Court either before service on Plaintiff’s attorney or immediately thereafter; otherwise a default will be entered against you for the relief demanded in the complaint In and for Manatee County: If you cannot afford an attorney, contact Gulfcoast Legal Services at (941) 7466151 or www.gulfcoastlegal.org, or Legal Aid of Manasota at (941) 747-1628 or www.legalaidofmanasota.org. If you do not qualify for free legal assistance or do not know an attorney, you may email an attorney referral service (listed in the phone book) or contact the Florida Bar Lawyer Referral Service at (800) 3428011. If

28 JUNE 21 - JUNE 27, 2024 BUSINESS OBSERVER MANATEE COUNTY
Bradenton, Florida 34206, (941) 741-4062, at least seven (7) days before your scheduled court appearance, or immediately upon receiving this notification if the time before the scheduled appearance is less than seven (7) days; if you are hearing or voice impaired, call 711. WITNESS my hand and the seal of this Court this 12TH day of June, 2024. ANGELINA COLONNESO As Clerk of Court (SEAL) By: Kris Gaffney As Deputy Clerk MILLER, GEORGE & SUGGS, PLLC Attorney for Plaintiff 210 N. University Drive, Suite 900 Coral Springs, FL 33071 June 21, 28, 2024 24-00927M
you are a person with a disability who needs any accommodation in order to participate in this proceeding, you are entitled, at no cost to you, to the provision of certain assistance. Please contact the Manatee County Jury Office, P.O. Box 25400,
June 21, 28; July 5, 12, 2024 24-00932M
4755 Technology Way, Suite 104 Boca Raton, FL 33431 June 21, 28, 2024 24-00935M
HOWARD LAW, Plaintiff’s attorney,
FIRST INSERTION FIRST INSERTION FIRST INSERTION FIRST INSERTION FIRST INSERTION FIRST INSERTION FIRST INSERTION --- ACTIONS ---
ONLINE AT Legals.BusinessObserverFL.com
VIEW NOTICES
LV18237 To publish your legal notice call: 941-906-9386

NOTICE OF SALE IN THE CIRCUIT COURT OF THE TWELFTH JUDICIAL CIRCUIT, IN AND FOR MANATEE COUNTY, FLORIDA CASE NO.

412022CA002411CAAXMA

PENNYMAC LOAN SERVICES, LLC; Plaintiff, vs. CHAD THOMAS WHITERMORE, JASMINE MARIE

WHITERMORE, ET.AL; Defendants

NOTICE IS GIVEN that, in accordance with the Final Judgment of Foreclosure dated April 10, 2024, in the abovestyled cause, I will sell to the highest and best bidder for cash beginning at 11:00 AM at WWW.MANATEE.

REALFORECLOSE.COM , on July 17, 2024, the following described property: Lot 319, Harmony at Lakewood Ranch, Phase II, Subphases A and B, according to the map or plat thereof, as recorded in Plat Book 60, Pages (s) 1 through 15, Inclusive, of the Public Records of Manatee County, Florida. Property Address: 5221 HORIZON CV, BRADENTON, FL 34211 ANY PERSON CLAIMING AN INTEREST IN THE SURPLUS FROM THE SALE, IF ANY, OTHER THAN THE PROPERTY OWNER AS OF

NOTICE OF FORECLOSURE SALE IN THE COUNTY COURT OF THE TWELFTH JUDICIAL CIRCUIT IN AND FOR MANATEE COUNTY, FLORIDA CIVIL DIVISION CASE NO.: 2023CC004932 THE ARBORS AT PINEBROOK OWNER’S ASSOCIATION, INC., a Florida not-for-profit corporation, Plaintiff, vs. MARY PATRICIA AMORY, et al., Defendants. NOTICE IS HEREBY GIVEN that pursuant to the Order Granting Plaintiff’s Motion to Reschedule Foreclosure Sale dated June 12, 2024, and entered in Case No. 2023CC004932 of the County Court of the Twelfth Judicial Circuit in and for Manatee County, Florida, the Clerk of the Court, Angelina Colonneso, will publicly sell to the highest and best bidder for cash at www.manatee. realforeclose.com beginning at 11:00 AM on July 30, 2024, the following described property as set forth in the Final Judgment for Lien Foreclosure: UNIT 104 THE ARBORS AT PINEBROOK, PHASE III, A CONDOMINIUM ACCORDING TO THE DECLARATION OF CONDOMINIUM RECORDED IN OFFICIAL RECORDS BOOK 1425, PAGES 3313 THROUGH 3373 INCLUSIVE AND AMENDMENTS THERETO AND AS PER PLAT THEREOF RECORDED IN CONDOMINIUM BOOK 27 PAGES 102 THROUGH 104 INCLUSIVE OF THE PUB-

THE DATE OF THE LIS PENDENS MUST FILE A CLAIM BEFORE THE CLERK REPORTS THE SURPLUS AS UNCLAIMED. THE COURT, IN ITS DISCRETION, MAY ENLARGE THE TIME OF THE SALE. NOTICE OF THE CHANGED TIME OF SALE SHALL BE PUBLISHED AS PROVIDED HEREIN.

If you are a person with a disability who needs any accommodations in order to participate in this proceeding, you are entitled, at no cost to you, to the provision of certain assistance. Please contact the Manatee County Jury Office, P.O. Box 25400, Bradenton, Florida 34206, (941) 7414062, at least seven (7) days before your scheduled court appearance, or immediately upon receiving this notification if the time before the scheduled appearance is less than seven (7) days; if you are hearing or voice impaired, call 711. Andrew Arias FBN: 89501

Attorneys for Plaintiff Marinosci Law Group, P.C. 100 West Cypress Creek Road, Suite 1045 Fort Lauderdale, FL 33309

Phone: (954) 644-8704; Fax: (954) 772-9601

ServiceFL@mlg-defaultlaw.com

ServiceFL2@mlg-defaultlaw.com MLG No.: 22-03442 June 21, 28, 2024 24-00961M

LIC RECORDS OF MANATEE COUNTY, FLORIDA

Any person claiming an interest in the surplus from the sale, if any, other than the property owner as of the date of the Lis Pendens, must file a claim before the Clerk of the Court reports the surplus as unclaimed.

This notice shall be published once a week for two consecutive weeks in the Business Observer.

AMERICANS WITH DISABILITIES ACT. If you are a person with a disability who needs any accommodations in order to participate in this proceeding, you are entitled, at no cost to you, to the provision of certain assistance. Please contact the Manatee County Jury Office, P.O. Box 25400, Bradenton, Florida 34206, (941) 7414062, at least seven (7) days before your scheduled court appearance, or immediately upon receiving this notification if the time before the scheduled appearance is less than seven (7) days; if you are hearing or voice impaired, call 711. Dated this 17 day of June 2024.

NAJMY THOMPSON, P.L.

Kari L. Martin Florida Bar No. 092862 1401 8th Avenue West Bradenton, Florida 34205 Telephone: (941) 748-2216

Facsimile: (941) 748-2218

Service Email: service.KM@najmythompson.com Correspondence only: kmartin@najmythompson.com; Secondary: bmiller@najmythompson.com

Attorney for Plaintiff June 21, 28, 2024 24-00960M

AMENDED NOTICE OF SALE

IN THE CIRCUIT COURT OF THE TWELFTH JUDICIAL CIRCUIT, IN AND FOR MANATEE COUNTY, FLORIDA CIVIL DIVISION

CASE NO.: 2023CA005800AX ATLANTIC MORTGAGE LENDING, LLC, A NEW MEXICO LIMITED LIABILITY COMPANY Plaintiff, vs. MIDDLEBURG REALTY ONE, LLC and CAROLINA LANDINGS AT UNIVERSITY PLACE UNIT 7560, LLC, A FLORIDA LIMITED LIABILITY COMPANY

Defendant. NOTICE IS HEREBY GIVEN, pursuant to an Order of Final Judgement of foreclosure dated November 30, 2023, and entered in Case No.: 2023CA-005800 of the Circuit Court of the Twelfth Judicial Circuit in and for Manatee County, Florida, wherein the property will sell to the highest and best bidder for cash at www.manatee. realforeclose.com, the Clerk’s website for on-line auctions at 11:00 a.m. on the 10th day of July, 2024, the following described property as set forth in said Order or Final Judgement, to wit: (LEGAL DESCRIPTION) UNIT 7560, BUILDING 7, CAROLINA LANDINGS AT UNIVERSITY PLACE, A CONDOMINIUM, TOGETHER WITH AN UNDIVIDED INTEREST IN THE COMMON ELEMENTS, ACCORDING TO THE DECLARATION OF CONDOMINIUM THEREOF, RECORDED IN OF-

FICIAL RECORDS BOOK 1859, PAGE 5594 AND ACCORDING TO THE MASTER DECLARATION OF BOOK 1875 PAGE(S) 3302, AMENDMENTS THERETO OF THE PUBLIC RECORDS OF MANATE COUNTY, FLORIDA.

PROPERTY ADDRESS: 7560 PLANTATION CIRCLE, BRADENTON, FL 34201-2062.

The above is to be published in the Business Observer . Any person claiming an interest in the surplus from the sale, if any, other than the property owner as of the date of the Lis Pendens, must file a claim within sixty (60) days after the sale. If you are a person with a disability who needs any accommodations in order to participate in this proceedings, you are entitled, at no cost to you, to the provisions of certain assistance. Please contact ADA Coordinator at least 7 days before your scheduled appearance, or immediately upon receiving this notification if the time before the scheduled appearance is less than 7 days; if you are hearing or voice impaired, call 711. Respectfully Submitted, /s/ Charles R. Pinson

Charles R. Pinson, Esq. Pinson Law, P.A. 7821 N. Dale Mabry Hwy, Ste 110 Tampa, FL 33614

Phone: (813) 574-7736

Fax: (813) 200-1057

Charles@pinsonlawpa.com

Fla. Bar No.: 125279

Attorney for Plaintiff June 21, 28, 2024 24-00928M

in said Final Judgment, to wit:

NOTICE OF FORECLOSURE SALE IN THE CIRCUIT COURT OF THE TWELFTH JUDICIAL CIRCUIT IN AND FOR MANATEE COUNTY, FLORIDA GENERAL JURISDICTION DIVISION CASE NO. 412023CA002945CAAXMA JPMORGAN CHASE BANK, NATIONAL ASSOCIATION, Plaintiff, vs. JAMES A. NEAL, et al. Defendant(s). NOTICE IS HEREBY GIVEN pursuant to a Final Judgment of Foreclosure dated May 15, 2024, and entered in 412023CA002945CAAXMA of the Circuit Court of the TWELFTH Judicial Circuit in and for Manatee County, Florida, wherein U.S. BANK TRUST NATIONAL ASSOCIATION, NOT IN ITS INDIVIDUAL CAPACITY BUT SOLELY AS OWNER TRUSTEE FOR RCAF ACQUISITION TRUST is the Plaintiff and JAMES A. NEAL; UNKNOWN SPOUSE OF JAMES A. NEAL; SAGE HOME LENDING CORPORATION; DOVE INVESTMENT CORP. are the Defendant(s). Angelina Colonneso as the Clerk of the Circuit Court will sell to the highest and best bidder for cash at www.manatee.realforeclose. com, at 11:00 AM, on July 16, 2024, the following described property as set forth in said Final Judgment, to wit: LOT 324 AND 325 OF WASHINGTON PARK, ACCORDING TO THE PLAT THEREOF AS RECORDED IN PLAT BOOK 4, PAGE 128, OF THE PUB-

LIC RECORDS OF MANATEE COUNTY, FLORIDA. 2804 E 3RD AVE, PALMETTO, FL 34221

Any person claiming an interest in the surplus from the sale, if any, other than the property owner as of the date of the lis pendens must file a claim in accordance with Florida Statutes, Section 45.031. If you are a person with a disability who needs any accommodations in order to participate in this proceeding, you are entitled, at no cost to you, to the provision of certain assistance. Please contact the Manatee County Jury Office, P.O. Box 25400, Bradenton, Florida 34206, (941) 7414062, at least seven (7) days before your scheduled court appearance, or immediately upon receiving this notification if the time before the scheduled appearance is less than seven (7) days; if you are hearing or voice impaired, call 711. Dated this 18 day of June, 2024. ROBERTSON, ANSCHUTZ, SCHNEID, CRANE & PARTNERS, PLLC Attorney for Plaintiff 6409 Congress Ave., Suite 100 Boca Raton, FL 33487 Telephone: 561-241-6901 Facsimile:

Any person claiming an interest in the surplus funds from the sale, if any, other than the property owner as of the date of the lis pendens must file a claim before the clerk reports the surplus as unclaimed.

If you are a person with a disability who needs any accommodations in order to participate in this proceedings, you are entitled, at no cost to you, to the provisions of certain assistance. Please contact ADA Coordinator at least 7 days before your scheduled appearance, or immediately upon receiving this notification if the time before the scheduled appearance is less than 7 days; if you are hearing or voice impaired, call 711.

Dated: 6/14/2024 McCabe, Weisberg & Conway, LLC By: Craig Stein Craig Stein, Esq. Fl Bar No. 120464 McCabe, Weisberg & Conway, LLC 3222 Commerce Place, Suite A West Palm Beach, Florida, 33407

Telephone: (561) 713-1400

Email: FLpleadings@mwc-law.com File No: 22-400564 June 21, 28, 2024 24-00940M

RE-NOTICE OF SALE PURSUANT TO CHAPTER 45 IN THE CIRCUIT COURT OF THE 12TH JUDICIAL CIRCUIT IN AND FOR MANATEE COUNTY, FLORIDA CASE NO.: 412023CA000875CAAXMA WELLS FARGO BANK, NATIONAL ASSOCIATION AS TRUSTEE FOR SOUNDVIEW HOME LOAN TRUST 2007-OPT1, ASSET-BACKED CERTIFICATES, SERIES 2007-OPT1, Plaintiff, vs. PATRICK A. THRASHER A/K/A PATRICK THRASHER A/K/A PATRICK A. TRASHER; HEATHER THRASHER; UNKNOWN SPOUSE OF HEATHER THRASHER; ASHLAND CREDIT UNION; CAPITAL ONE, NATIONAL ASSOCIATION F/K/A CAPITAL ONE BANK (USA), N.A; MIDLAND FUNDING LLC, Defendant(s). NOTICE OF SALE IS HEREBY GIVEN pursuant to the order of Uniform Final Judgment of Foreclosure dated April 9, 2024, and entered in Case No. 412023CA000875CAAXMA of the Circuit Court of the 12TH Judicial Circuit in and for Manatee County, Florida, wherein Wells Fargo Bank, National Association as Trustee for Soundview Home Loan Trust 2007-OPT1, AssetBacked Certificates, Series 2007-OPT1, is Plaintiff and Patrick A. Thrasher a/k/a Patrick Thrasher a/k/a Patrick A. Trasher; Heather Thrasher; Unknown Spouse of Heather Thrasher; Ashland Credit Union; Capital One, National Association f/k/a Capital One Bank (USA), N.A; Midland Funding LLC, are Defendants, the Office of the Clerk, Manatee County Clerk of the Court will sell via online auction at www.manatee. realforeclose.com at 11:00 a.m. on the 14th day of August, 2024, the following described property as set forth in said Final Judgment, to wit: THE WEST 1/2 OF LOT 21 ALL OF LOT 22, BLOCK 50, WHITFIELD ESTATES, LESS ANY PART LYING WITHIN THE RIGHT OF WAY OF JUNGLE WAY, AS PER PLAT THEREOF RECORDED IN PLAT BOOK 6 PAGE 33 PUBLIC RECORDS OF MANATEE COUNTY, FLORIDA. Property Address: 211 Jungle Way, Sarasota, Florida 34243 and all fixtures and personal property located therein or thereon, which are included as security in Plaintiff’s mortgage.

NOTICE OF FORECLOSURE SALE IN THE CIRCUIT COURT OF THE 12TH JUDICIAL CIRCUIT, IN AND FOR MANATEE COUNTY, FLORIDA CIVIL DIVISION CASE NO. 2023CA003253AX THE BANK OF NEW YORK MELLON, SUCCESSOR TRUSTEE TO JPMORGAN CHASE BANK, NATIONAL ASSOCIATION, AS TRUSTEE F/B/O HOLDERS OF STRUCTURED ASSET MORTGAGE INVESTMENTS II INC., BEAR STEARNS ALT-A TRUST 2005-10, MORTGAGE PASS-THROUGH CERTIFICATES, SERIES 2005-10, Plaintiff, vs. LERA KOPYT; UNKNOWN SPOUSE OF LERA KOPYT; TOWD POINT MORTGAGE TRUST 2019-1, U.S. BANK NATIONAL ASSOCIATION, AS INDENTURE TRUSTEE; SABAL BAY ASSOCIATION, INC.; UNKNOWN PERSON(S) IN POSSESSION OF THE SUBJECT PROPERTY, Defendant(s) NOTICE IS HEREBY GIVEN pursuant to a Final Judgment of Foreclosure filed June 10, 2024 and entered in Case No. 2023CA003253AX, of the Circuit Court of the 12th Judicial Circuit in and for MANATEE County, Florida, wherein THE BANK OF NEW YORK MELLON, SUCCESSOR TRUSTEE TO JPMORGAN CHASE BANK, NATIONAL ASSOCIATION, AS TRUSTEE F/B/O HOLDERS OF STRUCTURED ASSET MORTGAGE INVESTMENTS II INC., BEAR STEARNS ALT-A TRUST 2005-10, MORTGAGE PASS-THROUGH CERTIFICATES, SERIES 2005-10 is Plaintiff and LERA KOPYT; UNKNOWN SPOUSE OF LERA KOPYT; UNKNOWN PERSON(S) IN POSSESSION OF THE SUBJECT PROPERTY; TOWD POINT MORTGAGE TRUST 2019-1, U.S. BANK NATIONAL ASSOCIATION, AS INDENTURE TRUSTEE; SABAL BAY ASSOCIATION, INC.; are defendants. ANGELINA (ANGEL) COLONNESO, the Clerk of the Circuit Court, will sell to the highest and best bidder for cash BY ELECTRONIC SALE AT: WWW. MANATEE.REALFORECLOSE.COM at 11:00 A.M., on July 11, 2024, the following described property as set forth

UNIT 6-2, PHASE 4, SABAL BAY, A CONDOMINIUM, ACCORDING TO THE DECLARATION OF CONDOMINIUM AS RECORDED IN OFFICIAL RECORDS BOOK 2011, PAGE 7150, AS AMENDED BY FIRST AMENDMENT TO DECLARATION RECORDED IN OFFICIAL RECORDS BOOK 2033, PAGE 1795, AS AMENDED BY AMENDMENT TO DECLARATION RECORDED IN OFFICIAL RECORDS BOOK 2043, PAGE 1710, AS AMENDED BY AMENDMENT TO DECLARATION RECORDED IN OFFICIAL RECORDS BOOK 2058, PAGE 1031 AND ANY AMENDMENTS THEREOF, TOGETHER WITH AN UNDIVIDED INTEREST IN THE COMMON ELEMENTS APPURTENENT THERETO, ALL RECORDED IN THE PUBLIC RECORDS OF MANATEE COUNTY, FLORIDA.

Any person claiming an interest in the surplus from the sale, if any, other than the property owner as of the date of the lis pendens must file a claim before the Clerk reports the surplus as unclaimed. If you are a person with a disability who needs any accommodations in order to participate in this proceeding, you are entitled, at no cost to you, to the provision of certain assistance. Please contact the Manatee County Jury Office, P.O. Box 25400, Bradenton, Florida 34206, (941) 741-4062, at least seven (7) days before your scheduled court appearance, or immediately upon receiving this notification if the time before the scheduled appearance is less than seven (7) days; if you are hearing or voice impaired, call 711.

Dated this 17th day of June 2024. Marc Granger, Esq. Bar. No.: 146870

Kahane & Associates, P.A. 1619 NW 136th Avenue, Suite D-220 Sunrise, Florida 33323

Telephone: (954) 382-3486

Telefacsimile: (954) 382-5380

Designated service email: notice@kahaneandassociates.com

File No.: 23-00012 SPS June 21, 28, 2024 24-00949M

NOTICE OF SALE IN THE CIRCUIT COURT OF THE TWELFTH JUDICIAL CIRCUIT IN AND FOR MANATEE COUNTY, FLORIDA CIVIL DIVISION Case #: 2017-CA-003911

DIVISION: D

Wilmington Trust, National Association, as Successor Trustee to CitiBank, N.A., as Trustee to Lehman XS Trust Mortgage Pass-Through Certificates, Series 2005-6 Plaintiff, -vs.Dorothy T. Nemeth; Unknown Spouse of Dorothy T. Nemeth; Manatee County, Florida; Summerfield/Riverwalk Village Association, Inc.; Unknown Parties in Possession #1, If living, and all Unknown Parties claiming by, through, under and against the above named Defendant(s) who are not known to be dead or alive, whether said Unknown Parties may claim an interest as Spouse, Heirs, Devisees, Grantees, or Other Claimants; Unknown Parties in Possession #2, If living, and all Unknown Parties claiming by, through, under and against the above named Defendant(s) who are not known to be dead or alive, whether said Unknown Parties may claim an interest as Spouse, Heirs, Devisees, Grantees, or Other Claimants Defendant(s).

NOTICE IS HEREBY GIVEN pursuant to order rescheduling foreclosure sale or Final Judgment, entered in Civil Case No. 2017-CA-003911 of the Circuit Court of the 12th Judicial Circuit in and for Manatee County, Florida, wherein Wilmington Trust, National Association, as Successor Trustee to CitiBank, N.A., as Trustee to Lehman XS Trust Mortgage Pass-Through Certificates, Series 2005-6, Plaintiff and Dorothy T. Nemeth are defendant(s), I, Clerk of Court, Angelina Colonneso, will sell to the highest and best bidder for cash VIA THE INTERNET AT WWW. MANATEE.REALFORECLOSE.COM, AT 11:00 A.M. on July 31, 2024, the following described property as set forth in said Final Judgment, to-wit:

LOT 84, RIVERWALK VILLAGE CYPRESS BANKS, SUBPHASE H, UNITS 1 & 2, ACCORDING TO THE PLAT THEREOF IN PLAT BOOK 35, PAGES 7 THROUGH 14, PUBLIC RECORDS OF MANATEE COUNTY, FLORIDA. ANY PERSON CLAIMING AN INTEREST IN THE SURPLUS FROM THE SALE, IF ANY, OTHER THAN THE PROPERTY OWNER AS OF THE DATE OF THE LIS PENDENS MUST FILE A CLAIM NO LATER THAN THE DATE THAT THE CLERK REPORTS THE FUNDS AS UNCLAIMED. *Pursuant to Fla. R. Jud. Admin. 2.516(b)(1)(A), Plaintiff’s counsel hereby designates its primary email address for the purposes of email service as: FLeService@logs.com*

Pursuant to the Fair Debt Collection Practices Act, you are advised that this office may be deemed a debt collector and any information obtained may be used for that purpose. If you are a person with a disability who needs any accommodations in order to participate in this proceeding, you are entitled, at no cost to you, to the provision of certain assistance. Please contact the Manatee County Jury Office, P.O. Box 25400, Bradenton, Florida 34206, (941) 7414062, at least seven (7) days before your

29 JUNE 21 - JUNE 27, 2024 BusinessObserverFL.com MANATEE COUNTY FIRST INSERTION
FIRST INSERTION FIRST INSERTION FIRST INSERTION FIRST INSERTION FIRST INSERTION FIRST INSERTION
Plaintiff 750 Park
Commerce Blvd., Suite 130 Boca Raton, Florida 33487 Telephone: (561) 998-6700 Ext. 66841 Fax: (561) 998-6707 For Email Service Only: FLeService@logs.com For all other inquiries: ldiskin@logs.com By: /s/ Amanda Friedlander, Esq. Amanda Friedlander, Esq. FL Bar # 72876 17-309059 FC01 CXE June 21, 28, 2024 24-00951M
scheduled court appearance, or immediately upon receiving this notification if the time before the scheduled appearance is less than seven (7) days; if you are hearing or voice impaired, call 711. LOGS LEGAL GROUP LLP Attorneys for
of
561-997-6909 Service Email: flmail@raslg.com By: \S\Danielle Salem Danielle Salem, Esquire Florida Bar No. 0058248 Communication Email: dsalem@raslg.com 23-093176 - NaC June 21, 28, 2024 24-00962M
--- SALES --Call 941-906-9386 or email legal@businessobserverfl.com • We offer an online payment portal for easy credit card payment • Service includes us e-filing your affidavit to the Clerk’s office on your behalf We publish all Public sale, Estate & Court-related notices LEGAL NOTICE PUBLISH YOUR and select the appropriate County name from the menu option LV20878_V20

Why Public Notice Should Remain in Newspapers

Along with open meeting and freedom of information laws, public notice is an essential element of the three-legged stool of government transparency

This is not about “newspapers vs the internet”. It’s newspapers and newspaper websites vs government websites and newspaper websites have a much larger audience. Moving notice from newspapers to government websites would reduce the presence of public notices on the internet

Since the first U.S. Congress, public officials have understood that newspapers are the best medium to notify the public about official matters because they contain the essential elements of public notice:

Accessibility

Independence

Verifiability

Archivability vs

Requiring independent, third-party newspapers to ensure that public notices run in accordance with the law helps prevent government officials from hiding information they would prefer the public not to see

Types Of Public Notices

Citizen Participation Notices

Government Meetings and Hearings

Meeting Minutes or Summaries

Agency Proposals

Proposed Budgets and Tax Rates

Land and Water Use

Creation of Special Tax Districts

School District Reports

Zoning, Annexation and Land Use Changes

Publishing notices on the internet is neither cheap nor free

Newspapers remain the primary vehicle for public notice in all 50 states

Commercial NoticesCourt Notices

Unclaimed Property, Banks or Governments

Delinquent Tax Lists, Tax Deed Sales

Government Property Sales

Permit and License Applications

Mortgage Foreclosures

Name Changes

Probate Rulings

Divorces and Adoptions

Orders to Appear in Court

Stay Informed, It’s Your Right to Know.

For legal notice listings go to: Legals.BusinessObserverFL.com

To publish your legal notice call: 941-906-9386 or Legal@BusinessObserverFL.com

30 JUNE 21 - JUNE 27, 2024 BUSINESS OBSERVER MANATEE COUNTY
Open Meetings
XNLV18187
Public Notice FOIA

SECOND INSERTION

NOTICE TO CREDITORS IN THE CIRCUIT COURT FOR Manatee COUNTY, FLORIDA

PROBATE DIVISION

File No. 2024CP1116

Division PROBATE

IN RE: ESTATE OF BETTY P. DAY, Deceased.

The administration of the estate of Betty P. Day, deceased, whose date of death was June 24th, 2016, is pending in the Circuit Court for Manatee County, Florida, Probate Division, the address of which is P.O. Box 25400, Bradenton, Florida 34206. The names and addresses of the personal representative and the personal representative’s attorney are set forth below. All creditors of the decedent and other persons having claims or demands against decedent’s estate on whom a copy of this notice is required to be served must file their claims with this court ON OR BEFORE THE LATER OF 3 MONTHS AFTER THE TIME OF THE FIRST PUBLICATION OF THIS NOTICE OR 30 DAYS AFTER THE DATE OF SERVICE OF A COPY OF THIS NOTICE ON THEM. All other creditors of the decedent and other persons having claims or demands against decedent’s estate must file their claims with this court WITHIN 3 MONTHS AFTER THE DATE OF THE FIRST PUBLICATION OF THIS NOTICE.

ALL CLAIMS NOT FILED WITHIN THE TIME PERIODS SET FORTH IN FLORIDA STATUTES SECTION 733.702 WILL BE FOREVER BARRED.

NOTWITHSTANDING THE TIME PERIODS SET FORTH ABOVE, ANY CLAIM FILED TWO (2) YEARS OR MORE AFTER THE DECEDENT’S DATE OF DEATH IS BARRED.

The date of first publication of this notice is June 14, 2024.

J. Robert Day

P.O. Address: 3732 Torrey Pines Way, Sarasota, FL 34238

Personal Representative

ROBERT W. DARNELL

ATTORNEY AT LAW

Attorneys for Personal Representative 2639 FRUITVILLE ROAD

SUITE 201 SARASOTA, FL 34237

Telephone: (941) 365-4950 Florida Bar No. 0611999

June 14, 21, 2024 24-00908M

SECOND INSERTION

NOTICE TO CREDITORS (Summary Administration) IN THE CIRCUIT COURT, TWELFTH JUDICIAL CIRCUIT

IN AND FOR MANATEE COUNTY, FLORIDA PROBATE DIVISION File Number: 2023-CP-4041 IN RE: ESTATE OF KELLEY JOSEPH ELWER, Deceased. TO ALL PERSONS HAVING CLAIMS OR DEMANDS AGAINST ABOVE ESTATE:

You are hereby notified that an Order of Summary Administration has been entered in this estate of KELLEY JOSEPH ELWER, deceased, Case File No.: 2023-CP-4041, Probate Division: __ that is pending in the Circuit Court, in and for Duval County, Florida, Probate Division, the address of which is Manatee County Judicial Center, Probate Division, 1115 Manatee Avenue West, Bradenton, Florida 34205; that the decedent’s date of death was September 24, 2023; that the total value of the estate is $27.733.63, and that the names and addresses of those to whom it has been assigned by such order are: NAME ADDRESS Justin Alan Elwer

Address Unknown Joshua Kyle Elwer 5844 Paint Creek Way, Hillard, OH 43026

Jenna Marie Elwer 415 Jackson Street, Wapakoneta, OH 45895 ALL INTERESTED PERSONS ARE NOTIFIED THAT: All creditors of the estate of the decedent and other persons having claims or demands against decedent’s estate other than those for whom provision for full payment was made in the Order of Summary Administration must file their claims with this court WITHIN THE TIME PERIODS SET FORTH IN FLORIDA STATUTES

SECTION 733.702. ALL CLAIM AND DEMANDS NOT SO FILED WILL BE FOREVER BARRED. NOTWITHSTANDING ANY OTHER APPLICABLE TIME PERIOD, ANY CLAIM FILED TWO (2) YEARS OR MORE AFTER DECEDENT’S DATE OF DEATH IS BARRED.

The date of the first Publication of this notice is June 14, 2024. Kristy Bliss

Petitioner 1244 Linkside Drive Atlantic Beach, Florida 32233

Terrence L. Ivey, Esquire, Attorney for Petitioner Florida Bar No. 0983160

4720 Salisbury Road, Suite 202 Jacksonville, FL 32256

E-MAIL: info@theiveyleaguelawfirm.com

SECOND INSERTION

NOTICE TO CREDITORS IN THE CIRCUIT COURT FOR THE TWELFTH JUDICIAL CIRCUIT IN AND FOR MANATEE COUNTY, FLORIDA Case No. 2024 CP 001211 AX

PROBATE DIVISION IN RE: ESTATE OF LOUISE M. SBAFFONI/ Deceased.

The administration of the estate of Louise M. Sbaffoni, deceased, whose date of death was December 23, 2023 is pending in the Circuit Court for Manatee County, Florida, Probate Division, the address of which is 1051 Manatee Avenue West, Bradenton, Florida 34205. The names and addresses of the personal representatives and the personal representative’s attorney are set forth below.

All creditors of the decedent and other persons having claims or demands against decedent’s estate, on whom a copy of this notice is required to be served, must file their claims with this court ON OR BEFORE THE LATER OF 3 MONTHS AFTER THE TIME OF THE FIRST PUBLICATION OF THIS NOTICE OR 30 DAYS AFTER THE DATE OF SERVICE OF A COPY OF THIS NOTICE ON THEM.

All other creditors of the decedent and other persons having claims or demands against decedent’s estate must file their claims with this court WITHIN 3 MONTHS AFTER THE DATE OF THE FIRST PUBLICATION OF THIS NOTICE.

ALL CLAIMS NOT FILED WITHIN THE TIME PERIODS SET FORTH IN FLORIDA STATUTES SECTION 733.702 WILL BE FOREVER BARRED. NOTWITHSTANDING THE TIME PERIOD SET FORTH ABOVE, ANY CLAIM FILED TWO (2) YEARS OR MORE AFTER THE DECEDENT’S DATE OF DEATH IS BARRED.

The date of first publication of this notice is: June 14, 2024. John W. MacGloan Personal Representative 3342 17th Street Sarasota, FL 34235

Eric. R. Hoonhout, Esq

Attorney for Personal Representative Florida Bar No. 0087422 Hoonhout Law, Chartered 1219 South East Avenue, Suite 202 Sarasota, FL 34239 Telephone: (941) 237-0099 Email: Eric@hoonhoutlaw.com June 14, 21, 2024 24-00906M

SECOND INSERTION

NOTICE TO CREDITORS IN THE CIRCUIT COURT FOR THE TWELFTH JUDICIAL CIRCUIT IN AND FOR MANATEE COUNTY, FLORIDA File No. 2024-CP-001010

Division Probate IN RE: ESTATE OF LUCINDA POWELL MILLER DECEASED. The administration of the Estate of Lucinda Powell Miller, deceased, File Number 2024-CP-001010, is pending in the Circuit Court for Manatee County, Florida, the address of which is 101 Old Main Street, Bradenton, Florida 34205. The names and addresses of the Personal Representative and the Personal Representative’s attorney are set forth below.

All creditors of the decedent and other persons having claims or demands against decedent’s estate on whom a copy of this notice is required to be served must file their claim with this court WITHIN THE LATER OF 3 MONTHS AFTER THE TIME OF THE FIRST PUBLICATION OF THIS NOTICE OR 30 DAYS AFTER THE DATE OF SERVICE OF A COPY OF THIS NOTICE ON THEM.

All other creditors of the decedent and other persons having claims or demands against decedent’s estate must file their claims with this court WITHIN 3 MONTHS AFTER THE DATE OF THE FIRST PUBLICATION OF THIS NOTICE.

ALL CLAIMS NOT FILED WITHIN THE TIME PERIODS SET FORTH IN SECTION 733.702 OF THE FLORIDA PROBATE CODE WILL BE FOREVER BARRED. NOTWITHSTANDING THE TIME PERIODS SET FORTH ABOVE, ANY CLAIM FILED TWO (2) YEARS OR MORE AFTER THE DECEDENT’S DATE OF DEATH IS BARRED. The date of first publication of this notice is: June 14, 2024.

Personal Representative /s/ Jeremy C Birdwell (Jun 10, 2024 08:26 EDT) Jeremy C. Birdwell 12304 Bramfield Drive Riverview, Florida 33579

Attorney for Personal Representative /s/ Morgan M. McQueen Morgan M. McQueen, Esq. Florida Bar No. 1026045 Legacy Protection Lawyers, LLP

100 – 2nd Avenue South, Suite 900 St. Petersburg, Florida 33701

Telephone: (727) 471-5868

MANATEE COUNTY

SUBSEQUENT INSERTIONS

SECOND INSERTION

NOTICE TO CREDITORS IN THE CIRCUIT COURT FOR Manatee COUNTY, FLORIDA PROBATE DIVISION File No. 2024CP1117 Division PROBATE IN RE: ESTATE OF JAMES P. GUNNING, JR., Deceased.

The administration of the estate of James P. Gunning, Jr., deceased, whose date of death was January 13th, 2024, is pending in the Circuit Court for Manatee County, Florida, Probate Division, the address of which is P.O. Box 25400, Bradenton, Florida 34206. The names and addresses of the personal representative and the personal representative’s attorney are set forth below.

All creditors of the decedent and other persons having claims or demands against decedent’s estate on whom a copy of this notice is required to be served must file their claims with this court ON OR BEFORE THE LATER OF 3 MONTHS AFTER THE TIME OF THE FIRST PUBLICATION OF THIS NOTICE OR 30 DAYS AFTER THE DATE OF SERVICE OF A COPY OF THIS NOTICE ON THEM.

All other creditors of the decedent and other persons having claims or demands against decedent’s estate must file their claims with this court WITHIN 3 MONTHS AFTER THE DATE OF THE FIRST PUBLICATION OF THIS NOTICE.

ALL CLAIMS NOT FILED WITHIN THE TIME PERIODS SET FORTH IN FLORIDA STATUTES SECTION 733.702 WILL BE FOREVER BARRED. NOTWITHSTANDING THE TIME PERIODS SET FORTH ABOVE, ANY CLAIM FILED TWO (2) YEARS OR MORE AFTER THE DECEDENT’S DATE OF DEATH IS BARRED.

The date of first publication of this notice is June 14, 2024. Christopher James Gunning P.O. Address: 2595 University Parkway, Apt. 404, Sarasota, FL 34243 Personal Representative ROBERT W. DARNELL

ATTORNEY AT LAW

Attorneys for Personal Representative 2639 FRUITVILLE ROAD SUITE 201 SARASOTA, FL 34237

Telephone: (941) 365-4950

Florida Bar No. 0611999 June 14, 21, 2024 24-00910M

SECOND INSERTION

NOTICE TO CREDITORS IN THE CIRCUIT COURT FOR MANATEE COUNTY, FLORIDA PROBATE DIVISION File No. 2024 CP 1101 Division Probate IN RE: ESTATE OF ALAN JOEL COHN Deceased. The administration of the estate of ALAN JOEL COHN, deceased, whose date of death was November 28, 2023, is pending in the Circuit Court for Manatee County, Florida, Probate Division, the address of which is P.O. Box 25400, Bradenton, Florida 34206-5400. The names and addresses of the personal representative and the personal representative’s attorney are set forth below.

All creditors of the decedent and other persons having claims or demands against decedent’s estate on whom a copy of this notice is required to be served must file their claims with this court WITHIN THE LATER OF 3 MONTHS AFTER THE TIME OF THE FIRST PUBLICATION OF THIS NOTICE OR 30 DAYS AFTER THE DATE OF SERVICE OF A COPY OF THIS NOTICE ON THEM.

All other creditors of the decedent and other persons having claims or demands against decedent’s estate must file their claims with this court WITHIN 3 MONTHS AFTER THE DATE OF THE FIRST PUBLICATION OF THIS NOTICE.

ALL CLAIMS NOT FILED WITHIN THE TIME PERIODS SET FORTH IN SECTION 733.702 OF THE FLORIDA

PROBATE CODE WILL BE FOREVER BARRED. NOTWITHSTANDING THE TIME PERIOD SET FORTH ABOVE, ANY CLAIM FILED TWO (2) YEARS OR MORE AFTER THE DECEDENT’S DATE OF DEATH IS BARRED.

The date of first publication of this notice is June 14, 2024.

Personal Representative: KATHERINE RICHMOND 3326 39th Place W Bradenton FL 34205

Attorney for Personal Representative

KATHERINE RICHMOND:

Lori M. Dorman, Esq.

DORMAN LAW, P.A. Florida Bar No. 075401

Email address: lori@dormanlawpa.com

Email address: dormanlawpa@gmail.com

SECOND INSERTION NOTICE TO CREDITORS IN THE CIRCUIT COURT FOR MANATEE COUNTY, FLORIDA PROBATE DIVISION File No. 2024-CP-001323 AX Probate Division IN RE: ESTATE OF Yoko Okanuma, Deceased.

The administration of the estate of Yoko Okanuma, deceased, whose date of death was February 11, 2024, is pending in the Circuit Court for Manatee County, Florida, Probate Division, the address of which is Manatee County Courthouse, Probate Division, P.O. Box 25400, Bradenton, FL 34206-5400.

The names and addresses of the personal representative and the personal representative’s attorney are set forth below.

All creditors of the decedent and other persons having claims or demands against decedent’s estate on whom a copy of this notice is required to be served must file their claims with this court ON OR BEFORE THE LATER OF 3 MONTHS AFTER THE TIME OF THE FIRST PUBLICATION OF THIS NOTICE OR 30 DAYS AFTER THE DATE OF SERVICE OF A COPY OF THIS NOTICE ON THEM.

All other creditors of the decedent and other persons having claims or demands against decedent’s estate must file their claims with this court WITHIN 3 MONTHS AFTER THE DATE OF THE FIRST PUBLICATION OF THIS NOTICE.

ALL CLAIMS NOT FILED WITHIN THE TIME PERIODS SET FORTH IN FLORIDA STATUTES SECTION 733.702 WILL BE FOREVER BARRED.

NOTWITHSTANDING THE TIME PERIOD SET FORTH ABOVE, ANY CLAIM FILED TWO (2) YEARS OR MORE AFTER THE DECEDENT’S DATE OF DEATH IS BARRED.

The date of first publication of this notice is June 14, 2024.

Personal Representative: Jake J. Okanuma 1151 Longfellow Road Sarasota, FL 34243

Attorney for Personal Representative

James E. Johnson II

Email Address: jjohnson@manateelegal.com

Email Address: cgodfrey@manateelegal.com

Florida Bar No. 0061621

Greene Hamrick Schermer & Johnson, P.A. 410 43rd Street West, Suite N Bradenton, FL 34209

Telephone: (941) 747-1871

June 14, 21, 2024 24-00916M

SECOND INSERTION

NOTICE OF PUBLIC SALE

Notice is hereby given that on 6/28/2024 at 10:30 am, the following mobile home will be sold at public auction pursuant to F.S. 715.109. 1974

CLAS HS 261A & 261B . Last Tenants: PEGGY L BAKER and all unknown parties beneficiaries heirs . Sale to be at MHC COLONY COVE LLC, 101 AMSTERDAM AVENUE, ELLENTON, FL 34222. 813-282-5925.

June 14, 21, 2024 24-00898M

SECOND INSERTION

NOTICE OF PUBLIC SALE

Notice is hereby given that on 6/28/2024 at 10:30 am, the following mobile home will be sold at public auction pursuant to F.S. 715.109. 1981

SCHU HS S176513A & S176513B . Last Tenants: WILLIAM HAROLD

HILEMAN AND VIRGINIA LOUISE

DAVALL and all unknown parties beneficiaries heirs . Sale to be at MHC COLONY COVE LLC, 101 AMSTERDAM AVENUE, ELLENTON, FL 34222. 813-282-5925. June 14, 21, 2024 24-00897M

SECOND INSERTION

NOTICE OF SALE OF MOBILE HOME/ABANDONED PROPERTY

NOTICE OF ACTION IN THE CIRCUIT COURT OF THE TWELFTH JUDICIAL CIRCUIT IN AND FOR MANATEE COUNTY, FLORIDA CASE NO.: 2024-CA852

IN RE: ANNA MARIA ISLAND POWER SQUADRON, INC., a Dissolved Florida Corporation TO: ANY UNKNOWN INTERESTED PARTIES claiming an interest in the real Property described herein. YOU ARE NOTIFIED that an action to appoint a corporate trustee for the purpose of transferring real property located at 1200 71st Street NW, Bradenton, Florida 34209, and whose legal description is as follows: Commence at the NE corner of the SW 1/4 of the SE 1/4 of Section 19, Township 34 South, Range 17 East; thence go West 418.27 feet; thence South 208.72 feet; thence East 418.27 feet; and thence North 208.72 feet to the Point of Beginning, Less and except existing road right-of-way. has been filed against you and you are required to serve a copy of your written defenses, if any, to it on Matthew F. Liebert, Esquire, Blalock Walters, P.A., the Plaintiffs attorney, whose address is 802 11th Street West, Bradenton, Florida 34205, on or before JULY 10TH, 2024, and file the original with the Clerk of this Court either before service on the Plaintiff or immediately thereafter; otherwise a default will be entered against you for the relief demanded in the Petition.

In and for Manatee County:

If you cannot afford an attorney, contact Gulfcoast Legal Services at (941) 746-

6151 or www.gulfcoastlegal.org, or Legal Aid of Manasota at (941) 747-1628 or www.legalaidofmanasota.org. If you do not qualify for free legal assistance or do not know an attorney, you may email an attorney referral service (listed in the phone book) or contact the Florida Bar Lawyer Referral Service at (800) 3428011.

This notice shall be published once each week for four (4) cosecutive weeks in the Business Observer; legal@businessobserverfl.com

“If you are a person with a disability who needs any accommodation in order to participate in this proceeding, you

scheduled court appearance, or immediately upon receiving this notification if the time before the scheduled appearance is less than seven (7) days; if you are hearing or voice impaired, call 711.” WITNESS my hand and the seal of this Court on the 29TH day of MAY, 2024.

Notice is hereby given that on 6/28/2024 at 10:30 am, the following mobile home will be sold at public auction pursuant to F.S. 715.109. 1987 SAND

LFLSW2AH277906925 & LFLSW2BH277906925 . Last Tenants: JORGE F VALDIVIESO AND LAURETTA D VALDIVIESO and all unknown parties beneficiaries heirs . Sale to be at MHC COLONY COVE LLC, 101 AMSTERDAM AVENUE, ELLENTON, FL 34222. 813-282-5925. June 14, 21, 2024 24-00899M

SECOND INSERTION

NOTICE OF PUBLIC SALE

The following personal property of MIGUEL CRUZ QUEBEDO will, on June 26, 2024, at 10:00 a.m., at 420 49th St. E., Lot 166, Palmetto, Manatee County, Florida 34221; be sold for cash to satisfy storage fees in accordance with Florida Statutes, Section 715.109: 1972 SKYL MOBILE HOME, VIN: SF1366F, VIN: 0004958145 and all other personal property located therein

PREPARED BY: J. Matthew Bobo Lutz, Bobo & Telfair, P.A. 2 North Tamiami Trail, Suite 500 Sarasota, Florida 34236 June 14, 21, 2024 24-00891M

Email: Morgan@ LegacyProtectionLawyers.com June 14, 21, 2024 24-00901M

June 14, 21, 2024 24-00893M

410 43rd Street W, Suite N

Bradenton FL 34209

Tel: (941) 375-3565

June 14, 21, 2024 24-00902M

Pursuant to Florida Statutes §715.104 and 715.109, notice is hereby given that the undersigned, JET MOBILE HOME PARK, will, on the 2nd day of July 2024, at 9 a.m. at 10 Tennessee, Jet Mobile Home Park, 506 5th Ave. West Palmetto, Florida, offer for sale and sell at public outcry to the highest and best bidder for cash, the following described property situated in Manatee County, Florida, to wit: 36’ DETR, Year: 1960, Mobile Home, VIN #CK10WCAP11302, Decal 12853353, Title #0043857186, pursuant to the Notice to Owner of Mobile Home/ Notice of Right to Reclaim Abandoned Property of EVELYN M. MISENIS AND DANIEL J. WADE, former tenants. Should you have any interest in or intend to bid on the mobile home or other abandoned property scheduled for sale, please contact the attorney listed herein, W. Nelon Kirkland, Esquire, Dye, Harrison, Knowles, Kirkland, Pratt & DePaola, PLLC, P. O. Box 400, Bradenton, FL 34206-0400, (941) 746-1167, Attorney for Jet Mobile Home Park. June 14, 21, 2024 24-00915M

When the government is about to change your life, or your property or assets are about to be taken, public notices in newspapers serve to alert those affected.

31 JUNE 21 - JUNE 27, 2024 BusinessObserverFL.com
--- PUBLIC SALES ---
SECOND INSERTION Notice of Public Sale Pursuant F.S. 328.17, United American Lien & Recovery as agent w/ power of attorney will sell the following vessel(s) to the highest bidder. Inspect 1 week prior @ marina; cash or cashier check; all auctions are held w/ reserve; any persons interested ph 954-563-1999 Sale Date July 5. 2024 @ 10:00 am 3411 NW 9th Ave #707 Ft Lauderdale FL 33309 V13073 1985 Hat Hull ID#: HATCS353D585 DO#: 686520 inboard pleasure diesel fiberglass 52ft R/O A to Z Autos Lienor: Twin Dolphin Marina 1000 1st Ave W Bradenton June 14, 21, 2024 24-00877M
SECOND INSERTION NOTICE OF PUBLIC SALE
HS
entitled, at no cost to you,
certain assistance.
Box
ton,
at
your
Angelina “Angel” Colonneso Clerk of Court (SEAL) By: Kris Gaffney Deputy Clerk Matthew F. Liebert, Esquire mliebert@blalockwalters.com; eservice@blalockwalters.com Blalock Walters, P.A. 802 11th Street West Bradenton, Florida 34205 4767553v1 OFN: 46098.000 June 7, 14, 21, 28, 2024 24-00840M --- ACTIONS --THIRD INSERTION --- ESTATE ----- PUBLIC SALES ---
are
to the provision of
Please contact the Manatee County Jury Office, P.O.
25400, Braden-
Florida 34206, (941) 741-4062,
least seven (7) days before
VIEW NOTICES ONLINE AT Legals.BusinessObserverFL.com To publish your legal notice call: 941-906-9386 Who benefits from legal notices?
You do. Legal notices are required because a government body or corporation wants to take action that can affect individuals and the public at large.
LV18237_V6

SECOND INSERTION

NOTICE TO CREDITORS IN THE CIRCUIT COURT FOR MANATEE COUNTY, FLORIDA

PROBATE DIVISION File No. 412024CP001255CPAXMA IN RE: ESTATE OF KEITH R. KUIPER JR. Deceased.

The administration of the estate of Keith R. Kuiper Jr., deceased, whose date of death was March 7, 2024, is pending in the Circuit Court for MANATEE County, Florida, Probate Division, the address of which is 1115 Manatee Ave W, Bradenton, FL 34205. The names and addresses of the personal representative and the personal representative’s attorney are set forth below. All creditors of the decedent and other persons having claims or demands against decedent’s estate on whom a copy of this notice is required to be served must file their claims with this court ON OR BEFORE THE LATER OF 3 MONTHS AFTER THE TIME OF THE FIRST PUBLICATION OF THIS NOTICE OR 30 DAYS AFTER THE DATE OF SERVICE OF A COPY OF THIS NOTICE ON THEM.

All other creditors of the decedent and other persons having claims or demands against decedent’s estate must file their claims with this court WITHIN 3 MONTHS AFTER THE DATE OF THE FIRST PUBLICATION OF THIS NOTICE. ALL CLAIMS NOT FILED WITHIN THE TIME PERIODS SET FORTH IN FLORIDA STATUTES SECTION 733.702 WILL BE FOREVER BARRED.

NOTWITHSTANDING THE TIME PERIODS SET FORTH ABOVE, ANY CLAIM FILED TWO (2) YEARS OR MORE AFTER THE DECEDENT’S DATE OF DEATH IS BARRED.

The date of first publication of this notice is June 14, 2024

Personal Representative: Kevin S. Kuiper 52311 Fulton Rd. Leonidas, Michigan 49066

Attorney for Personal Representative: /s/ Andrej Cuturic Andrej Cuturic

Attorney Florida Bar Number: 1018523

801 E Venice Ave, Ste. 2 Venice, Florida 34285

Telephone: (941) 441-9193

Fax: (941) 214-2629

E-Mail: ac@legacylifelegal.com

Secondary E-Mail: stephanie@legacylifelegal.com

June 14, 21, 2024 24-00880M

SECOND INSERTION

NOTICE TO CREDITORS IN THE CIRCUIT COURT OF THE TWELFTH JUDICIAL CIRCUIT IN AND FOR MANATEE COUNTY, FLORIDA PROBATE DIVISION FILE NO.:

412024CP001259CPAXMA IN RE: ESTATE OF SUSAN M. MCDOWELL, Deceased. The administration of the Estate of Susan M. McDowell, deceased, whose date of death was December 3, 2023, is pending in the Circuit Court for Manatee County, Florida, Probate Division, the address of which is P.O. Box 25400, Bradenton, FL 34206. The names and addresses of the personal representative and the personal representative’s attorney are set forth below. All creditors of the Decedent and other persons having claims or demands against Decedent’s estate on whom a copy of this notice is required to be served must file their claims with this court WITHIN THE LATER OF 3 MONTHS AFTER THE TIME OF THE FIRST PUBLICATION OF THIS NOTICE OR 30 DAYS AFTER THE DATE OF SERVICE OF A COPY OF THIS NOTICE ON THEM.

All other creditors of the Decedent and other persons having claims or demands against Decedent’s estate must file their claims with this court WITHIN 3 MONTHS AFTER THE DATE OF THE FIRST PUBLICATION OF THIS NOTICE.

ALL CLAIMS NOT FILED WITHIN THE TIME PERIODS SET FORTH IN SECTION 733.702 OF THE FLORIDA PROBATE CODE WILL BE FOREVER BARRED. NOTWITHSTANDING THE TIME PERIODS SET FORTH ABOVE, ANY CLAIM FILED TWO (2) YEARS OR MORE AFTER THE DECEDENT’S DATE OF DEATH IS BARRED.

The date of first publication of this notice is June 14, 2024.

Personal Representative: Terry Moriarty

c/o: Bennett Jacobs & Adams, P.A.

Post Office Box 3300

Tampa, Florida 33601

Attorney for Personal Representative: Linda Muralt, Esquire Florida Bar No.: 0031129

SECOND INSERTION NOTICE TO CREDITORS IN THE CIRCUIT COURT OF THE 12TH JUDICIAL CIRCUIT IN AND FOR MANATEE COUNTY, FLORIDA PROBATE DIVISION File No. 412024cp000711cpaxma IN RE: ESTATE OF LISA ELLEN JANZ, Deceased. The administration of the estate of LISA ELLEN JANZ, Deceased, whose date of death was August 28, 2023, is pending in the Circuit Court for MANATEE County, Florida, Probate Division, the address of which is 1115 Manatee Ave. W. Bradenton, Fl. 34205. The names and addresses of the personal representative and the personal representative’s attorney are set forth below.

All creditors of the decedent and other persons having claims or demands against decedent’s estate on whom a copy of this notice is required to be served must file their claims with this court WITHIN THE LATER OF 3 MONTHS AFTER THE TIME OF THE FIRST PUBLICATION OF THIS NOTICE OR 30 DAYS AFTER THE DATE OF SERVICE OF A COPY OF THIS NOTICE ON THEM.

All other creditors of the decedent and other persons having claims or demands against decedent’s estate must file their claims with this court WITHIN 3 MONTHS AFTER THE DATE OF THE FIRST PUBLICATION OF THIS NOTICE.

ALL CLAIMS NOT FILED WITHIN THE TIME PERIODS SET FORTH IN SECTION 733.702 OF THE FLORIDA PROBATE CODE WILL BE FOREVER BARRED. NOTWITHSTANDING THE TIME PERIODS SET FORTH ABOVE, ANY CLAIM FILED TWO (2) YEARS OR MORE AFTER THE DECEDENT’S DATE OF DEATH IS BARRED.

The date of first publication of this notice is June 14, 2024. EDWARD E. JANZ, Personal Representative Attorney for Personal Representative: Scott R. Bugay, Esquire Florida Bar No. 5207 Citicentre, Suite P600 290 NW 165th Street Miami FL 33169

Telephone: (305) 956-9040 Fax: (305) 945-2905 Primary Email: Scott@srblawyers.com Secondary Email: angelica@srblawyers.com June 14, 21, 2024 24-00886M

SECOND INSERTION

NOTICE TO CREDITORS IN THE CIRCUIT COURT FOR MANATEE COUNTY, FLORIDA PROBATE DIVISION File No. 2024 CP 1152 Division Probate IN RE: ESTATE OF JEFFREY RONALD JONES Deceased. The administration of the estate of JEFFREY RONALD JONES, deceased, whose date of death was November 30, 2023, is pending in the Circuit Court for Manatee County, Florida, Probate Division, the address of which is 1115 Manatee Avenue West, Bradenton, FL 34206. The names and addresses of the ancillary personal representative and the ancillary personal representative’s attorney are set forth below.

All creditors of the decedent and other persons having claims or demands against decedent’s estate on whom a copy of this notice is required to be served must file their claims with this court ON OR BEFORE THE LATER OF 3 MONTHS AFTER THE FIRST PUBLICATION OF THIS NOTICE OR 30 DAYS AFTER THE DATE OF SERVICE OF A COPY OF THIS NOTICE ON THEM. All other creditors of the decedent and other persons having claims or demands against decedent’s estate must file their claims with this court WITHIN 3 MONTHS AFTER THE DATE OF THE FIRST PUBLICATION OF THIS NOTICE.

ALL CLAIMS NOT FILED WITHIN THE TIME PERIODS SET FORTH IN FLORIDA STATUTES SECTION 733.702 WILL BE FOREVER BARRED. NOTWITHSTANDING THE TIME PERIODS SET FORTH ABOVE, ANY CLAIM FILED TWO (2) YEARS OR MORE AFTER THE DECEDENT’S DATE OF DEATH IS BARRED.

The date of first publication of this notice is June 14, 2024.

Ancillary Personal Representative: BRENDA MCCRAW JONES 745 Windsor Place Circle Grayson, GA 30017

Attorney for Ancillary Personal Representative: Rodney D. Gerling, Esq. Florida Bar No. 0554340

SECOND INSERTION

NOTICE TO CREDITORS IN THE CIRCUIT COURT OF THE 12TH JUDICIAL CIRCUIT IN AND FOR MANATEE COUNTY, FLORIDA PROBATE DIVISION File No. 412024CP000871CPAXMA IN RE: ESTATE OF ROSE E MULLINS, Deceased.

The administration of the estate of ROSE E MULLINS, Deceased, whose date of death was July 24, 2023, is pending in the Circuit Court for MANATEE County, Florida, Probate Division, the address of which is 1115 Manatee Ave W, Bradenton, Fl. 34205. The names and addresses of the personal representative and the personal representative’s attorney are set forth below. All creditors of the decedent and other persons having claims or demands against decedent’s estate on whom a copy of this notice is required to be served must file their claims with this court WITHIN THE LATER OF 3 MONTHS AFTER THE TIME OF THE FIRST PUBLICATION OF THIS NOTICE OR 30 DAYS AFTER THE DATE OF SERVICE OF A COPY OF THIS NOTICE ON THEM.

All other creditors of the decedent and other persons having claims or demands against decedent’s estate must file their claims with this court WITHIN 3 MONTHS AFTER THE DATE OF THE FIRST PUBLICATION OF THIS NOTICE.

ALL CLAIMS NOT FILED WITHIN THE TIME PERIODS SET FORTH IN SECTION 733.702 OF THE FLORIDA PROBATE CODE WILL BE FOREVER BARRED. NOTWITHSTANDING THE TIME PERIODS SET FORTH ABOVE, ANY CLAIM FILED TWO (2) YEARS OR MORE AFTER THE DECEDENT’S DATE OF DEATH IS BARRED.

The date of first publication of this notice is June 14, 2024. TANA MULLINS, Personal Representative

Attorney for Personal Representative: Scott R. Bugay, Esquire Florida Bar No. 5207 Citicentre, Suite P600 290 NW 165TH Street Miami FL 33169

Telephone: (305) 956-9040

Fax: (305) 945-2905

Primary Email: Scott@srblawyers.com

Secondary Email: angelica@srblawyers.com June 14, 21, 2024 24-00894M

SECOND INSERTION

NOTICE TO CREDITORS IN THE CIRCUIT COURT FOR MANATEE COUNTY, FLORIDA

PROBATE DIVISION File No. 23-CP-002421 Division PROBATE IN RE: ESTATE OF CAROLINE HOFMANS Deceased.

The administration of the estate of CAROLINE HOFMANS, deceased, whose date of death was January 7, 2023, is pending in the Circuit Court for MANATEE County, Florida, Probate Division, the address of which is 1115 Manatee Avenue West Bradenton, FL 34205. The names and addresses of the personal representative and the personal representative’s attorney are set forth below.

All creditors of the decedent and other persons having claims or demands against decedent’s estate on whom a copy of this notice is required to be served must file their claims with this court ON OR BEFORE THE LATER OF 3 MONTHS AFTER THE TIME OF THE FIRST PUBLICATION OF THIS NOTICE OR 30 DAYS AFTER THE DATE OF SERVICE OF A COPY OF THIS NOTICE ON THEM.

All other creditors of the decedent and other persons having claims or demands against decedent’s estate must file their claims with this court WITHIN 3 MONTHS AFTER THE DATE OF THE FIRST PUBLICATION OF THIS NOTICE.

ALL CLAIMS NOT FILED WITHIN THE TIME PERIODS SET FORTH IN FLORIDA STATUTES SECTION 733.702 WILL BE FOREVER BARRED.

NOTWITHSTANDING THE TIME PERIODS SET FORTH ABOVE, ANY CLAIM FILED TWO (2) YEARS OR MORE AFTER THE DECEDENT’S DATE OF DEATH IS BARRED.

The date of first publication of this notice is June 14, 2024.

Personal Representative: FRANCINE HOFMANS 55064 ASHBERRY CT.

SHELBY TWP, Michigan 48316

Attorney for Personal Representative: Scott Faden, Esq.

Attorney Florida Bar Number: 20069

SECOND INSERTION NOTICE TO CREDITORS (Summary Administration) IN THE CIRCUIT COURT FOR MANATEE COUNTY, FLORIDA PROBATE DIVISION File No. 2024CP1324 IN RE: ESTATE OF CHRISTINA MARIE CARMICHAEL Deceased

TO: ALL PERSONS HAVING CLAIMS OR DEMANDS AGAINST THE ABOVE ESTATE

You are hereby notified that an Order of Summary Administration has been entered in the Circuit Court for Manatee County, Florida, Probate Division, the address of which is Post Office Box 25400, Bradenton, Florida 34206; that the decedent’s date of death was February 18, 2024, that the estate consists of only exempt property and that the names and address of those to whom it has been assigned by such order are: Alan D. Carmichael, 2206 14th St W, Palmetto, FL 34221 ALL INTERESTED PERSONS ARE NOTIFIED THAT:

All creditors of the estate of the decedent and persons having claims or demands against the estate of the decedent other than those for whom provision for full payment was made in the Order of Summary Administration must file their claims with this court WITHIN THE TIME PERIODS SET FORTH IN SECTION 733.702 OF THE FLORIDA PROBATE COURT.\ ALL CLAIMS AND DEMANDS NOT SO FILED WILL BE FOREVER BARRED.

NOTWITHSTANDING ANY

OTHER APPLICABLE TIME PERIOD, ANY CLAIM FIELD TWO (2) YEARS OR MORE AFTER THE DECEDENT’S DATE OF DEATH IS BARRED.

The date of first publication of this Notice is June 14, 2024. Persons Giving Notice

LYNN CARMICHAEL 512 W Grove St # 311 Boise, ID 83702

Attorney for Person Giving Notice: JAMES WM. KNOWLES, ESQ. KNOWLES BOUZIANE & SHAFFER PLLC 2812 Manatee Ave W Bradenton, FL 34205

Florida Bar No. 0296260 941-746-4454

June 14, 21, 2024 24-00889M

SECOND INSERTION NOTICE TO CREDITORS IN THE CIRCUIT COURT FOR MANATEE COUNTY, FLORIDA PROBATE DIVISION File No. 2024-CP-000528 IN RE: ESTATE OF PATRICIA ANN MCVOY Deceased.

The administration of the estate of PATRICIA ANN McVOY, deceased, whose date of death was January 2, 2024, is pending in the Circuit Court for Manatee County, Florida, Probate Division, the address of which is 1115 Manatee Avenue W., Bradenton, Florida 34205. The names and addresses of the personal representative and the personal representative’s attorney are set forth below.

All creditors of the decedent and other persons having claims or demands against decedent’s estate on whom a copy of this notice is required to be served must file their claims with this court ON OR BEFORE THE LATER OF 3 MONTHS AFTER THE TIME OF THE FIRST PUBLICATION OF THIS NOTICE OR 30 DAYS AFTER THE DATE OF SERVICE OF A COPY OF THIS NOTICE ON THEM.

All other creditors of the decedent and other persons having claims or demands against decedent’s estate must file their claims with this court WITHIN 3 MONTHS AFTER THE DATE OF THE FIRST PUBLICATION OF THIS NOTICE.

ALL CLAIMS NOT FILED WITHIN THE TIME PERIODS SET FORTH IN FLORIDA STATUTES SECTION 733.702 WILL BE FOREVER BARRED.

NOTWITHSTANDING THE TIME PERIODS SET FORTH ABOVE, ANY CLAIM FILED TWO (2) YEARS OR MORE AFTER THE DECEDENT’S DATE OF DEATH IS BARRED.

The date of first publication of this notice is JUNE 14, 2024.

Personal Representative: /s/ Robin A McVoy ROBIN A. McVOY 3305 Semmes Avenue Richmond, Virginia 23225

Attorney for Personal Representative: /s/ Donna I. Sobel

DONNA I. SOBEL, ESQUIRE

Attorney Florida Bar Number: 370096 4900 Manatee Avenue W. Suite 206

SECOND INSERTION NOTICE TO CREDITORS IN THE CIRCUIT COURT FOR MANATEE COUNTY, FLORIDA PROBATE DIVISION File No. 2024CP560 IN RE: ESTATE OF RUDOLPH N. CAMINITE Deceased

The administration of the Estate of RUDOLPH N. CAMINITE, deceased, is pending in the Circuit Court for Manatee County, Florida, Probate Division, P. O. Box 25400, Bradenton, Florida 34206. The names and addresses of the personal representative and the personal representative’s attorney are set forth below.

All creditors of the decedent and other persons, who have claims or demands against decedent’s estate, including unmatured, contingent or unliquidated claims, and who have been served a copy of this notice, must file their claims with this court WITHIN THE LATER OF THREE MONTHS AFTER THE DATE OF THE FIRST PUBLICATION OF THIS NOTICE OR 30 DAYS AFTER THE DATE OF SERVICE OF A COPY OF THIS NOTICE ON THEM. All other creditors of the decedent and other persons who have claims or demands against decedent’s estate, including unmatured, contingent or unliquidated claims, must file their claims with this court WITHIN 3 MONTHS AFTER THE DATE OF THE FIRST PUBLICATION OF THIS NOTICE.

ALL CLAIMS NOT SO FILED WILL BE FOREVER BARRED. NOTWITHSTANDING THE TIME PERIODS SET FORTH ABOVE, ANY CLAIM FILED TWO (2) YEARS OR MORE AFTER THE DECEDENT’S DATE OF DEATH IS BARRED.

THE DATE OF FIRST PUBLICATION OF THIS NOTICE IS: June 14, 2024. Personal Representative: ANTHONY J. CAMINITE JOANNE D. MOORE 403 62ND St NW Bradenton, FL 34209

Attorney for Personal Representative: JAMES WM. KNOWLES, ESQ. KNOWLES BOUZIANE & SHAFFER PLLC 2812 Manatee Ave W Bradenton, FL 34205 941-746-4454

June 14, 21, 2024 24-00890M

SECOND INSERTION

NOTICE TO CREDITORS IN THE CIRCUIT COURT FOR MANATEE COUNTY, FLORIDA PROBATE DIVISION File No.

412024CP001172CPAXMA IN RE: ESTATE OF JOSEPH D. MILLER, A/K/A JOSEPH DAVID MILLER Deceased.

The administration of the estate of Joseph D. Miller, A/K/A Joseph David Miller, deceased, whose date of death was November 11, 2023, is pending in the Circuit Court for Manatee County, Florida, Probate Division, the address of which is P.O. Box 25400, Bradenton, FL 34206. The names and addresses of the personal representative and the personal representative’s attorney are set forth below.

All creditors of the decedent and other persons having claims or demands against decedent’s estate on whom a copy of this notice is required to be served must file their claims with this court ON OR BEFORE THE LATER OF 3 MONTHS AFTER THE TIME OF THE FIRST PUBLICATION OF THIS NOTICE OR 30 DAYS AFTER THE DATE OF SERVICE OF A COPY OF THIS NOTICE ON THEM.

All other creditors of the decedent and other persons having claims or demands against decedent’s estate must file their claims with this court WITHIN 3 MONTHS AFTER THE DATE OF THE FIRST PUBLICATION OF THIS NOTICE.

ALL CLAIMS NOT FILED WITHIN THE TIME PERIODS SET FORTH IN FLORIDA STATUTES SECTION 733.702 WILL BE FOREVER BARRED. NOTWITHSTANDING THE TIME PERIODS SET FORTH ABOVE, ANY CLAIM FILED TWO (2) YEARS OR MORE AFTER THE DECEDENT’S DATE OF DEATH IS BARRED. The date of first publication of this notice is June 14, 2024.

Personal Representative: Thomas E. Krpata 67 Rockwood Ln. Upton, Massachusetts 01568

Attorney for Personal Representative: Robert W. Bible, Jr.

Attorney Independent of Counsel

Florida Bar Number: 561398

Pippen Law Group, PLLC

SECOND INSERTION NOTICE TO CREDITORS IN THE CIRCUIT COURT FOR PINELLAS COUNTY, FLORIDA

PROBATE DIVISION File No. 24-004481-ES IN RE: ESTATE OF ROWLAND JAMES HILL, JR Deceased. The administration of the estate of ROWLAND JAMES HILL, JR., deceased, whose date of death was March 16, 2024, is pending in the Circuit Court for PINELLAS County, Florida, Probate Division, the address of which is 315 Court Street, Clearwater, Florida 33756. The names and addresses of the personal representative and the personal representative’s attorney are set forth below. All creditors of the decedent and other persons having claims or demands against decedent’s estate on whom a copy of this notice is required to be served must file their claims with this court ON OR BEFORE THE LATER OF 3 MONTHS AFTER THE TIME OF THE FIRST PUBLICATION OF THIS NOTICE OR 30 DAYS AFTER THE DATE OF SERVICE OF A COPY OF THIS NOTICE ON THEM. All other creditors of the decedent and other persons having claims or demands against decedent’s estate must file their claims with this court WITHIN 3 MONTHS AFTER THE DATE OF THE FIRST PUBLICATION OF THIS NOTICE. ALL CLAIMS NOT FILED WITHIN THE TIME PERIODS SET FORTH IN FLORIDA STATUTES SECTION 733.702 WILL BE FOREVER BARRED. NOTWITHSTANDING THE TIME PERIODS SET FORTH ABOVE, ANY CLAIM FILED TWO (2) YEARS OR MORE AFTER THE DECEDENT’S DATE OF DEATH IS BARRED. The date of first publication of this notice is June 14, 2024. Signed on this 5th day of June, 2024. Personal Representative: /s/ Marjorie Putman MARJORIE PUTMAN 8548 Shenstone Dr. Cincinnati, Ohio 45255 Attorney for Personal Representative: /s/ Tiffani K. Thornton Tiffani K. Thornton, Esq. FBN: 1007807 THE LAW OFFICE OF TIFFANI K. THORNTON June 14, 21, 2024 24-00885M

E-mail: LMuralt@bja-law.com

June 14, 21, 2024 24-00887M

Affordable Attorney Gerling Law Group Chartered 6148 State Road 70 East, Bradenton, FL 34203 Telephone: (941) 756-6600 Email: rgerling@gerlinglawgroup.com June 14, 21, 2024 24-00892M

THE LAW OFFICES OF SCOTT N. FADEN

1342 COLONIAL BLVD., STE. C17 FORT MYERS, FL 33907

Telephone: (239) 243-0677

Fax: (239) 243-0477

E-Mail: scottfaden@gmail.com

June 14, 21, 2024 24-00888M

Bradenton, FL 34209

Telephone: (941) 747-0001

1920 East Bay Dr. Largo, FL 33771

Telephone: (727) 586-3306

Fax: (727) 585-4209

E-Mail: Robert@attypip.com

Secondary E-Mail: Suzie@attypip.com June 14, 21, 2024 24-00878M

SECOND INSERTION NOTICE TO CREDITORS (Formal Administration) IN THE 12th JUDICIAL CIRCUIT COURT IN AND FOR MANATEE COUNTY, FLORIDA. PROBATE DIVISION CASE NO.: 2024-CP-001070 IN RE: The Estate of PATRICIA SILBERT, Deceased. TO ALL PERSONS HAVING CLAIMS OR DEMANDS AGAINST THE ABOVE ESTATE: The administration of the estate of PATRICIA SILBERT, deceased, whose date of death was August 26, 2022, and whose social security number is XXX-XX-6455, is pending in the Circuit Court for Manatee County, Florida, Probate Division, the address of which is 1051 Manatee Avenue West, Bradenton, Florida 34205. The names and addresses of the Personal Representative and the Personal Representative’s attorney are set forth below. All creditors of the decedent and other persons having claims or demands against decedent’s estate on whom a copy of this notice is required to be served must file their claims with this court WITHIN THE LATER OF THREE (3) MONTHS AFTER THE TIME OF THE FIRST PUBLICATION OF THIS NOTICE OR THIRTY (30) DAYS AFTER THE DATE OF SERVICE OF A COPY OF THIS NOTICE ON THEM. All other creditors of the decedent and other persons having claims or demands against decedent’s estate must file their claims with this court WITHIN THREE (3) MONTHS AFTER THE DATE OF THE FIRST PUBLICATION OF THIS NOTICE. ALL CLAIMS NOT FILED WITH THE TIME PERIODS SET FORTH IN SECTION 733.702 OF THE FLORIDA PROBATE CODE WILL BE FOREVER BARRED. NOTWITHSTANDING THE TIME PERIODS SET FORTH ABOVE, ANY CLAIM FILED TWO (2) YEARS OR MORE AFTER THE DECEDENT’S DATE OF DEATH IS BARRED. The date of first publication of this Notice is June 14, 2024. Attorney and Personal Representative Giving Notice: /s/ Steven E. Gurian . STEVEN E. GURIAN, ESQ., Attorney for Petitioner and As Personal Representative EASY ESTATE PROBATE, PLLC 2601 South Bayshore Drive, 18th Floor Coconut Grove, Florida 33133 Tel: 1-833-973-3279

Fax: 1-833-927-3279

32 JUNE 21 - JUNE 27, 2024 BUSINESS OBSERVER MANATEE COUNTY
Fax: (941) 746-2094 E-Mail: donna@sobelattorneys.com Secondary E-Mail: scharles@sobelattorneys.com June 14, 21, 2024 24-00879M
E-mail: SG@EasyEstateProbate.com Florida Bar No. 101511 June 14, 21, 2024 24-00884M
Tampa,
Bennett Jacobs & Adams, P.A. Post Office Box 3300
Florida 33601 Telephone: (813) 272-1400 Facsimile: (866) 844-4703
--- ESTATE ---

NOTICE OF FORFEITURE PROCEEDINGS IN THE CIRCUIT COURT OF THE TWELFTH JUDICIAL CIRCUIT IN AND FOR MANATEE COUNTY, FLORIDA Case No.: 2024-CA-000130

Judge: Felix IN RE: FORFEITURE OF:

$12,898.00 (Twelve Thousand Eight Hundred Ninety-Eight Dollars) in U.S. Currency ALL PERSONS who claim an interest in the following property: $12,898.00 (Twelve Thousand Eight Hundred Ninety-Eight Dollars) in U.S. Currency, which was seized because said property is alleged to be contraband as defined by Sections 932.701 (2)(a)(1-6), Florida Statutes, by the Department of Highway Safety and Motor Vehicles, Division of Florida Highway Patrol, on or about January 11, 2024, in Manatee County, Florida. Any owner, entity, bona fide lienholder, or person in possession of the property when seized has

RE-NOTICE OF FORECLOSURE

SALE IN THE CIRCUIT COURT OF THE TWELFTH JUDICIAL CIRCUIT, IN AND FOR MANATEE COUNTY, FLORIDA CASE NO.

412023CA006654CAAXMA

AURORA FINANCIAL GROUP, INC., Plaintiff, vs. DEREK C. RUETZ; ET AL.

Defendants NOTICE IS HEREBY GIVEN pursuant to an Order on Plaintiff’s Motion to Cancel the May 17, 2024 Foreclosure Sale and Rescheduling Foreclosure Sale dated May 8, 2024, and entered in Case No. 412023CA006654CAAXMA, of the Circuit Court of the Twelfth Judicial Circuit in and for MANATEE County, Florida. AURORA FINANCIAL GROUP, INC., is Plaintiff and DEREK C. RUETZ; COPPERSTONE MASTER ASSOCIATION, INC.; COPPERSTONE TOWNHOME HOMEOWNERS ASSOCIATION, INC., are defendants. Angelina M. Colonneso, Clerk of the Circuit Court for MANATEE County, Florida will sell to the highest and best bidder for cash via the Internet at www.manatee. realforeclose.com at 11:00 a.m., on the 10TH day of JULY, 2024, the following described property as set forth in said Final Judgment, to wit:

NOTICE OF FORECLOSURE SALE PURSUANT TO CHAPTER 45 IN THE CIRCUIT COURT OF THE TWELFTH JUDICIAL CIRCUIT IN AND FOR MANATEE COUNTY, FLORIDA CASE NO.: 2020CA003285AX DEED STREET CAPITAL, LLC, Plaintiff, VS. AMANDA WEST; UNKNOWN SPOUSE OF AMANDA WEST; MANATEE RAINTREE

ASSOCIATION, INC.; UNKNOWN TENANT #1; UNKNOWN TENANT #2; ANY AND ALL UNKNOWN PARTIES CLAIMING BY, THROUGH, UNDER AND AGAINST THE HEREIN NAMED INDIVIDUAL DEFENDANT(S) WHO ARE NOT KNOWN TO BE DEAD OR ALIVE, WHETHER SAID UNKNOWN PARTIES MAY CLAIM AN INTEREST AS SPOUSES, HEIRS, DEVISEES, GRANTEES, OR OTHER CLAIMANTS

Defendant(s).

NOTICE IS HEREBY GIVEN that sale will be made pursuant to an Order or Final Judgment. Final Judgment was awarded on November 29, 2021 in Civil Case No. 2020CA003285AX, of the Circuit Court of the TWELFTH Judicial Circuit in and for Manatee County, Florida, wherein, DEED STREET CAPITAL, LLC is the Plaintiff, and AMANDA WEST; UNKNOWN SPOUSE OF AMANDA WEST; MANATEE RAINTREE

SECOND INSERTION

LOT 98, COPPERSTONE PHASE I, A SUBDIVISION ACCORDING TO THE PLAT THEREOF RECORDED AT PLAT BOOK 51, PAGES 178 THROUGH 201, INCLUSIVE, OF THE PUBLIC RECORDS OF MANATEE COUNTY, FLORIDA.

Any person claiming an interest in the surplus from the sale, if any, other than the property owner as of the date of the lis pendens must file a claim before the clerk reports the surplus as unclaimed. If you are a person with a disability who needs any accommodations in order to participate in this proceeding, you are entitled, at no cost to you, to the provision of certain assistance. Please contact the Manatee County Jury Office, P.O. Box 25400, Bradenton, Florida 34206, (941) 741-4062, at least seven (7) days before your scheduled court appearance, or immediately upon receiving this notification if the time before the scheduled appearance is less than seven (7) days; if you are hearing or voice impaired, call 711. Si usted es una persona minusválida que necesita algún acomodamiento para poder participar en este procedimiento, usted tiene derecho, sin tener gastos propios, a que se le provea cierta ayuda. Tenga la amabilidad de ponerse en contacto Manatee County Jury Office, P.O. Box 25400, Bradenton,

SECOND INSERTION

ASSOCIATION, INC.; UNKNOWN TENANT #1; UNKNOWN TENANT #2; ANY AND ALL UNKNOWN PARTIES CLAIMING BY, THROUGH, UNDER AND AGAINST THE HEREIN NAMED INDIVIDUAL DEFENDANT(S) WHO ARE NOT KNOWN TO BE DEAD OR ALIVE, WHETHER SAID UNKNOWN PARTIES MAY CLAIM AN INTEREST AS SPOUSES, HEIRS, DEVISEES, GRANTEES, OR OTHER CLAIMANTS are Defendants.

The Clerk of the Court, Angelina “Angel” Colonneso will sell to the highest bidder for cash at www.manatee. realforeclose.com on August 7, 2024 at 11:00:00 AM EST the following described real property as set forth in said Final Judgment, to wit: UNIT 317, RAINTREE CONDOMINIUM, AS PER PLAT THEREOF RECORDED IN CONDOMINIUM BOOK 6, PAGES 40-47 INCLUSIVE, AND THE CONDOMINIUM DECLARATION RECORDED IN OFFICIAL RECORDS BOOK 756, PAGE 498, ET SEQ., OF THE PUBLIC RECORDS OF MANATEE COUNTY, FLORIDA, TOGETHER WITH ITS RESPECTIVE SHARE OF THE COMMON ELEMENTS THEREIN.

TOGETHER WITH COVERED CARPORT NO. 201, RAINTREE CONDOMINIUM. THIS CARPORT IS ADDITIONAL SECURITY FOR THE FAITHFUL

SECOND INSERTION NOTICE OF ACTION FORECLOSURE PROCEEDINGS-PROPERTY IN THE CIRCUIT COURT OF THE TWELFTH JUDICIAL CIRCUIT IN AND FOR MANATEE COUNTY, FLORIDA

CIVIL DIVISION

Case#: 412024CA000387CAAXMA DIVISION: B Truist Bank Plaintiff, -vs.Unknown Heirs, Devisees, Grantees, Assignees, Creditors, Lienors, and Trustees of Deborah J. Humphreys a/k/a Deborah Jean Humphreys a/k/a Deborah H. Humphreys f/k/a Deborah Jean Hazelbake, Deceased, and All Other Person Claiming By and Through, Under, Against The Named Defendant(s); Christopher John Humphreys a/k/a Christopher J. Humphreys; Randall Duane Humphreys; Lori Ruth Humphreys; Unknown Spouse of Christopher John Humphreys a/k/a Christopher J. Humphreys; Unknown Spouse of Randall Duane Humphreys; Unknown Spouse of Lori Ruth Humphreys; ISPC, Inc.; Unknown Parties in Possession #1, if living, and all Unknown Parties claiming by, through, under and against the above named Defendant(s); Unknown Parties in Possession #2, if living, and all Unknown Parties claiming by, through, under and against the above named Defendant(s) Defendant(s).

TO: Unknown Heirs, Devisees, Grantees, Assignees, Creditors, Lienors, and Trustees of Deborah J. Humphreys a/k/a Deborah Jean Humphreys a/k/a

MANATEE COUNTY

the right to request an adversarial preliminary hearing for a probable cause determination within fifteen (15) days of initial receipt of notice, by providing such request to Angeline Attila, Assistant General Counsel, Department of Highway Safety and Motor Vehicles, 7322 Normandy Boulevard, Jacksonville, Florida 32205, by certified mail return receipt requested. A complaint for forfeiture has been filed in the above styled court. June 14, 21, 2024 24-00912M

Florida 34206, (941)741- 4062, por lo menos 7 días antes de la cita fijada para su comparecencia en los tribunales, o inmediatamente después de recibir esta notificación si el tiempo antes de la comparecencia que se ha programado es menos de 7 días; si usted tiene discapacitación del oído o de la voz, llame al 711.

Si ou se yon moun ki enfim ki bezwen akomodasyon pou w ka patisipe nan pwosedi sa, ou kalifye san ou pa gen okenn lajan pou w peye, gen pwovizyon pou jwen kèk èd. Tanpri kontakte Manatee County Jury Office, P.O. Box 25400, Bradenton, Florida 34206, (941)741- 4062 nan 7 jou anvan dat ou gen randevou pou parèt nan tribinal la, oubyen imedyatman apre ou fin resevwa konvokasyon an si lè ou gen pou w parèt nan tribinal la mwens ke 7 jou; si ou gen pwoblèm pou w tande oubyen pale, rele 711.

Dated this 5th day of June, 2024. VAN NESS LAW FIRM, PLC 1239 E. Newport Center Drive, Suite 110 Deerfield Beach, Florida 33442 Ph: (954) 571-2031

PRIMARY EMAIL: Pleadings@vanlawfl.com /s/ Mark Elia Mark C. Elia, Esq. Bar Number: 695734 FH19273-23FB/sap June 14, 21, 2024 24-00882M

PERFORMANCE OF THE COVENANTS CONTAINED IN THE PROMISSORY NOTE AND MORTGAGE

Any person claiming an interest in the surplus from the sale, if any, other than the property owner as of the date of the lis pendens must file a claim before the clerk reports the surplus as unclaimed. If you are a person with a disability who needs any accommodations in order to participate in this proceeding, you are entitled, at no cost to you, to the provision of certain assistance. Please contact the Manatee County Jury Office, P.O. Box 25400, Bradenton, Florida 34206, (941) 7414062, at least seven (7) days before your scheduled court appearance, or immediately upon receiving this notification if the time before the scheduled appearance is less than seven (7) days; if you are hearing or voice impaired, call 711.

Dated this 11 day of , 2024.

ALDRIDGE PITE, LLP

Attorney for Plaintiff 5300 West Atlantic Avenue Suite 303 Delray Beach, FL 33484

Telephone: 561-392-6391 Facsimile: 561-392-6965

By: Zachary Ullman

Date: 2024.06.11 13:48:21-04’00’ FBN: 106751

Primary E-Mail: ServiceMail@aldridgepite.com 1667-001B June 14, 21, 2024 24-00913M

Deborah H. Humphreys f/k/a Deborah Jean Hazelbake, Deceased, and All Other Person Claiming By and Through, Under, Against The Named Defendant(s): LAST KNOWN ADDRESS: UNKNOWN Residence unknown, if living, including any unknown spouse of the said Defendants, if either has remarried and if either or both of said Defendants are dead, their respective unknown heirs, devisees, grantees, assignees, creditors, lienors, and trustees, and all other persons claiming by, through, under or against the named Defendant(s); and the aforementioned named Defendant(s) and such of the aforementioned unknown Defendants and such of the aforementioned unknown Defendants as may be infants, incompetents or otherwise not sui juris. YOU ARE HEREBY NOTIFIED that an action has been commenced to foreclose a mortgage on the following real property, lying and being and situated in Manatee County, Florida, more particularly described as follows: LOT 210, MANATEE PALMS SUBDIVISION, UNIT 5, AS PER PLAT THEREOF RECORDED IN PLAT BOOK20, PAGES 103 AND 104, OF THE PUBLIC RECORDS OF MANATEE COUNTY, FLORIDA. more commonly known as 6511 3rd Avenue Northeast, Bradenton, FL 34208. This action has been filed against you and you are required to serve a copy of your written defense, if any, upon LOGS LEGAL GROUP LLP, Attorneys for Plaintiff, whose address is 750 Park of Commerce Blvd., Suite 130, Boca Raton, FL 33487, within thirty (30) days

NOTICE OF ASSIGNMENT FOR THE BENEFIT OF CREDITORS IN THE CIRCUIT COURT OF THE 12th JUDICIAL CIRCUIT IN AND FOR MANATEE COUNTY, FLORIDA CIVIL DIVISION Case No. 2024-CA-000849 In re: BEDO GROUP, LLC, Assignor, to LARRY S. HYMAN, Assignee. TO: ALL CREDITORS AND OTHER INTERESTED PARTIES:

1. PLEASE TAKE NOTICE that on or about May 28, 2024, a Petition was

NOTICE OF JUDICIAL SALE IN THE CIRCUIT COURT OF THE TWELFTH JUDICIAL CIRCUIT IN AND FOR MANATEE COUNTY, FLORIDA CASE NO: 2024CA000647AX ORLANDO ASSETS ONE TRUST, Plaintiff(s), v. MANHATTAN PALMS ASSOCIATION ONE LLC, Defendant(s). NOTICE IS HEREBY GIVEN that a judicial sale will be made pursuant to an Order or Final Judgment for Partition entered in the above styled cause of action. The Clerk of Court, Angelina Colonnesso, shall sell the following described real property at a public sale online at https://manatee. realforeclose.com/ to the highest bidder or bidders for cash beginning 11:00 a.m. on August 8, 2024: CONDOMINIUM UNIT 8,

NOTICE OF FORECLOSURE SALE IN THE CIRCUIT COURT OF THE TWELFTH JUDICIAL CIRCUIT IN AND FOR MANATEE COUNTY, FLORIDA GENERAL JURISDICTION DIVISION Case No. 2023 CA 3191 Freedom Mortgage Corporation, Plaintiff, vs. Cynthia Bodenhorn, et al., Defendants.

NOTICE IS HEREBY GIVEN pursuant to the Final Judgment and/or Order Rescheduling Foreclosure Sale, entered in Case No. 2023 CA 3191 of the Circuit Court of the TWELFTH Judicial Circuit, in and for Manatee County, Florida, wherein Freedom Mortgage Corporation is the Plaintiff and Cynthia Bodenhorn; Shane Bodenhorn; Carpentras at the Villages of Avignon Homeowners Association, Inc. are the Defendants, that Angelina Colonneso,

FOURTH INSERTION

filed commencing an Assignment for the Benefit of Creditors, pursuant to Chapter 727, Fla. Stat., made by BEDO GROUP, LLC, Assignor, with its principal place of business at 8730 54th Ave. E., Bradenton, FL 34211, to Larry S. Hyman, Assignee, whose address is PO Box 18625, Tampa, FL 33679. The Petition was filed in the Circuit Court of Manatee County.

2. YOU ARE HEREBY FURTHER NOTICED that pursuant to Fla. Stat. §727.105, no proceeding may be commenced against the Assignee except as provided in Chapter 727, and excepting

BUILDING 1, IN PHASE ONE, SERENDIPITY SECTION ONE, A CONDOMINIUM, TOGETHER WITH AN UNDIVIDED SHARE IN COMMON ELEMENTS APPURTENANT THERETO, ACCORDING TO THE DECLARATION OF CONDOMINIUM THEREOF, AS RECORDED IN THE OFFICIAL RECORDS BOOK 1111, PAGE 3364, AND AMENDMENTS THERETO, OF THE PUBLIC RECORDS OF MANATEE COUNTY, FLORIDA

Parcel Identification Number: 4778210452

Property Address: 304 34th Avenue DR E, Bradenton, FL 34208 (“Property”)

If you are a person with a disability who needs any accommodations in order to participate in this proceeding, you are

SECOND INSERTION

Manatee County Clerk of Court will sell to the highest and best bidder for cash at, www.manatee.realforeclose. com, beginning at 11:00 AM on the 10th day of July, 2024, the following described property as set forth in said Final Judgment, to wit: LOT 114, OAK VIEW PHASE I, ACCORDING TO THE MAP OR PLAT THEREOF, AS RECORDED IN PLAT BOOK 46, PAGE 103 THROUGH 112, OF THE PUBLIC RECORDS OF MANATEE COUNTY, FLORIDA. TAX ID: 774102459

Any person claiming an interest in the surplus from the sale, if any, other than the property owner as of the date of the lis pendens must file a claim before the clerk reports the surplus as unclaimed. If you are a person with a disability who needs any accommodations in order to participate in this proceeding, you are entitled, at no cost to

the case of the secured creditor enforcing its rights in collateral under Chapter 679, there shall be no levy, execution, attachment or the like, in connection with any judgment or claim against assets of the Estate, other than real property, in the possession, custody or control of the Assignee.

3. YOU ARE HEREBY FURTHER NOTIFIED that in order to receive any dividend in this proceeding, you must file a Proof of Claim with the Assignee on or before September 25, 2024. May 31; June 7, 14, 21, 2024 24-00834M

entitled, at no cost to you, to the provision of certain assistance. Please contact the Manatee County Jury Office, P.O.

you are hearing or voice impaired, call 711. DATED June 6, 2024 PREMIER LAW PLLC 6706 N. Nebraska Ave. #8386 Tampa, Florida 33604 Phone: 954.866.5255 Email: Premierlawpllc@gmail.com /s/

after the first publication of this notice and file the original with the clerk of this Court either before with service on Plaintiffs attorney or immediately thereafter; otherwise a default will be entered against you for the relief demanded in the Complaint. In and for Manatee County: If you cannot afford an attorney, contact Gulfcoast Legal Services at (941) 7466151 or www.gulfcoastlegal.org, or Legal Aid of Manasota at (941) 747-1628 or www.legalaidofmanasota.org. If you do not qualify for free legal assistance or do not know an attorney, you may email an attorney referral service (listed in the phone book) or contact the Florida Bar Lawyer Referral Service at (800) 3428011. If you are a person with a disability who needs any accommodation in order to participate in this proceeding, you are entitled, at no cost to you, to the provision of certain assistance. Please contact the Manatee County Jury Office, P.O. Box 25400, Bradenton, Florida 34206, (941) 741-4062, at least seven (7) days before your scheduled court appearance, or immediately upon receiving this notification if the time before the scheduled appearance is less than seven (7) days; if you are hearing or voice impaired, call 711. WITNESS my hand and seal of this Court on the 12TH day of June, 2024. Angelina Colonneso Circuit and County Courts (SEAL) By: Kris Gaffney Deputy Clerk LOGS LEGAL GROUP LLP Attorneys for Plaintiff 750 Park of Commerce Blvd., Suite 130 Boca Raton, FL 33487 June 14, 21, 2024 24-00914M

NOTICE OF FORECLOSURE SALE IN THE CIRCUIT COURT OF THE TWELFTH JUDICIAL CIRCUIT IN AND FOR MANATEE COUNTY, FLORIDA CIVIL DIVISION CASE NO.: 2023 CA 005026 OAKWOOD VILLAS CONDOMINIUM OWNER’S ASSOCIATION, INC., a Florida not-for-profit corporation, Plaintiff, vs. PATRICK FRANKLIN A/K/A PATRICK IAN FRANKLIN; et al Defendant(s). NOTICE IS HEREBY GIVEN that pursuant to the Final Judgment of Lien Foreclosure dated June 4, 2024, and entered in Case No. 2023CA005026 of the Circuit Court of the Twelfth Judicial Circuit in and for Manatee County, Florida, the Clerk of the Court, Angelina “Angel” Colonneso, will publicly sell to the highest and best bidder for cash at www.manatee.realforeclose.com beginning at 11:00 AM on July 9, 2024, the following described property:

NOTICE OF SALE PURSUANT TO CHAPTER 45

CIRCUIT COURT FOR MANATEE COUNTY, FLORIDA Case No.: 2023 CA 003197 AMY LI LEI LAWSON, Plaintiff, v. GAO CHAO HOLDINGS LLC, Defendant.

NOTICE IS HEREBY GIVEN that pursuant to a Final Judgment dated November 6, 2023, and order resetting sale dated April 9, 2024, entered in the above captioned cause in the Circuit Court of Manatee County, Florida, the Clerk of Court will sell to the highest bidder in an online sale at www. manatee.realforeclose.com, in Manatee County, Florida at 11:00 a.m., on July 24, 2024, the following described property:

LOTS 1 through 10, inclusive, Block A, WHITFIELD ESTATES BUSINESS DISTRICT, a resubdivision of Lots 20 through 25, inclusive, Block 1, and Lots 8 through 15, inclusive, Block 23, Unit 1, WHITFIELD ESTATES, as per Plat thereof recorded in Plat Book 6, Page 32, Public Records of Manatee County, Florida. The vacated 25 foot alley or Street lying south of and adjacent to LOTS 1 through 10, BLOCK A, WHITFIELD ESTATES BUSI-

you, to the provision of certain assistance. Please contact the Manatee County Jury Office, P.O. Box 25400, Bradenton, Florida 34206, (941) 7414062, at least seven (7) days before your scheduled court appearance, or immediately upon receiving this notification if the time before the scheduled appearance is less than seven (7) days; if you are hearing or voice impaired, call 711. Dated this 6th day of June, 2024. BROCK & SCOTT, PLLC Attorney for Plaintiff 2001 NW 64th St, Suite 130 Ft. Lauderdale, FL 33309

Phone: (954) 618-6955, ext. 4766 Fax: (954) 618-6954 FLCourtDocs@brockandscott.com By /s/Justin J. Kelley Justin J. Kelley, Esq. Florida Bar No. 32106 File # 23-F00525 June 14, 21,

UNIT 65 OF OAKWOOD VILLAS, SECTION D, A CONDOMINIUM ACCORDING TO THE DECLARATION OF CONDOMINIUM THEREOF, RECORDED IN OFFICIAL RECORDS BOOK 604, PAGE(S) 784, OF THE PUBLIC RECORDS OF MANATEE COUNTY, FLORIDA, AND ANY AMENDMENTS THERETO, TOGETHER WITH ITS UNDIVIDED SHARE IN THE COMMON ELEMENTS.

Any person claiming an interest in the surplus from the sale, if any, other than the property owner as of the date of the Lis Pendens must file a claim before the Clerk of the Court reports the surplus as unclaimed.

This notice shall be published once a week for two consecutive weeks in the Business Observer.

If you are a person with a disability who needs any accommodations in order to participate in this proceeding, you are entitled, at no cost to you, to the provision of certain assistance. Please contact the Manatee County Jury Office, P.O. Box 25400, Bradenton, Florida 34206, (941) 741-4062, at least seven (7) days before your scheduled court appearance, or immediately upon receiving this notification if the time before the scheduled appearance is less than seven (7) days; if you are hearing or voice impaired, call 711. Dated this 5 day of June 2024. NAJMY THOMPSON, P.L. Kari L. Martin Florida Bar No. 092862 1401 8th Avenue West Bradenton, Florida 34205 Telephone: (941) 748-2216 Facsimile: (941) 748-2218 Service Email: service.KM@najmythompson.com Correspondence only: kmartin@najmythompson.com; Secondary: abaker@najmythompson.com Attorney for Plaintiff June 14, 21, 2024 24-00881M

SECOND INSERTION SECOND INSERTION

NESS DISTRICT, a resubdivision of Lot 20 through 25, inclusive, Block 1, and Lots 8 through 15, inclusive, Block 23, Unit 1, WHITFIELD ESTATES, as per plat thereof recorded in Plat Book 6, Page 32, Public Records of Manatee County, Florida. The 50 foot wide vacated GRANADA TERRACE lying west of and adjacent to LOT 1 of BLOCK A, WHITFIELD ESTATES BUSINESS DISTRICT, a resubdivision of Lots 20 through 25, inclusive, Block 1, and Lots 8 through 15, inclusive, Block 23, Unit 1, WHITFIELD ESTATES, as per plat thereof recorded in Plat Book 6, Page 32, Public Records of Manatee County, Florida. The vacated portion of SCOTT AVENUE (platted as Sunset Drive) lying north of and adjacent to LOTS 1 through 10, BLOCK A, WHITFIELD ESTATES BUSINESS DISTRICT, a resubdivision of Lots 20 through 25, inclusive, Block 1, and Lots 8 through 15, inclusive, Block 23, Unit 1, WHITFIELD ESTATES, as per plat thereof recorded in Plat Book 6, Page 32, Public Records of Manatee County, Florida. The said vacated portion of SCOTT AVENUE being the south 15 feet more or less of the platted 80 foot right-of-way. ANY PERSON OR ENTITY CLAIMING AN INTEREST IN THE SURPLUS, IF ANY, RESULTING FROM THE FORECLOSURE SALE, OTHER THAN THE PROPERTY OWNER AS OF THE DATE OF THE LIS PENDENS MUST FILE A CLAIM WITH THE CLERK OF COURT WITHIN 60 DAYS AFTER THE FORECLOSURE SALE. If you are a person with a disability who needs any accommodations in order to participate in this proceeding, you are entitled, at no cost to you, to the provision of certain assistance. Please contact the Manatee County Jury Office, P.O. Box 25400, Bradenton, Florida 34206, (941) 741-4062, at least seven (7) days before your scheduled court appearance, or immediately upon receiving this notification if the time before the

33 JUNE 21 - JUNE 27, 2024 BusinessObserverFL.com
M. Horowitz,
2197 Ringling Blvd. Sarasota, Florida 34237
365-2094 Service E-Mail: gregg.horowitz@verizon.net June 14, 21, 2024 24-00904M
scheduled appearance is less than seven (7) days; if you are hearing or voice impaired, call 711. ATTORNEY FOR PLAINTIFF Gregg
P.A.
(941)
24-00905M
2024
Box 25400, Bradenton, Florida
at least seven
days before your scheduled court appearance, or immediately upon receiving this notification if the time before the scheduled appearance is less than seven
days; if
Derek A. Carrillo, Esq. DEREK A. CARRILLO, ESQ. Florida Bar Number: 111919 Attorney for the Plaintiff June 14, 21, 2024 24-00903M SECOND INSERTION
34206, (941) 741-4062,
(7)
(7)
SECOND INSERTION
--- ACTIONS / SALES ---

Newsprint is inherently superior to the internet for public notice because reading a newspaper is a serendipitous process.

We find things in newspapers we weren’t expecting to see. On the internet, we search for specific information and ignore everything else.

Citizens continue to learn about vital civic matters from newspaper notices.

Documented examples of people taking action and alerting their community after reading a newspaper notice are reported on a regular basis.

Verifying publication is difficult-to-impossible on the web.

That’s why the courts subject digital evidence to far greater scrutiny than evidence published in newspapers

Types Of Public Notices

Citizen Participation Notices

Government Meetings and Hearings

Meeting Minutes or Summaries

Agency Proposals

Proposed Budgets and Tax Rates

Land and Water Use

Creation of Special Tax Districts

School District Reports

Zoning, Annexation and Land Use Changes

Significant numbers of people in rural areas still lack highspeed internet access.

Those who are older than 65 or who have lower incomes or lack high-school diplomas are also cut off from the internet in far higher numbers than the average.

Moreover, the real digital divide for public notice is growing due to the massive migration to smartphones and other small-screen digital devices

Governments aren’t very good at publishing information on the internet.

Unlike newspaper publishers, public officials aren’t compelled by the free market to operate effective websites. Grade

Commercial NoticesCourt Notices

Unclaimed Property, Banks or Governments

Delinquent Tax Lists, Tax Deed Sales

Government Property Sales

Permit and License Applications

Mortgage Foreclosures

Name Changes

Probate Rulings

Divorces and Adoptions

Orders to Appear in Court

Stay Informed, It’s Your Right to Know. For legal notice listings go to: Legals.BusinessObserverFL.com

To publish your legal notice call: 941-906-9386 or Legal@BusinessObserverFL.com

34 JUNE 21 - JUNE 27, 2024 BUSINESS OBSERVER MANATEE COUNTY
XNLV18187

ESSENTIAL ELEMENTS OF A PUBLIC NOTICE

Federal and state public notice statutes generally establish four fundamental criteria for a public notice.

Each of these elements are critical aspects of the checks and balances that public notice was designed to foster.

Every citizen in the jurisdiction affected by the notice must have a realistic opportunity to read it

Notices must be capable of being archived in a secure and publicly available format for the use of the judicial system, researchers and historians

Notices must be published by organizations independent of the government body or corporation whose plans or actions are the subject of the notice

There must be a way to verify that each notice was an original, unaltered notice and actually published in accordance with the law

Types Of Public Notices

Probate Rulings

Divorces and Adoptions

Orders to Appear in Court

35 JUNE 21 - JUNE 27, 2024 BusinessObserverFL.com MANATEE COUNTY 1. Accessible 2. Archivable 3. Independent 4. Verifiable
Citizen Participation Notices
Government Meetings and Hearings Meeting Minutes or Summaries Agency Proposals Proposed Budgets and Tax Rates Land and Water Use Creation of Special Tax Districts School District Reports Zoning, Annexation and Land Use Changes Unclaimed Property, Banks or Governments Delinquent Tax Lists, Tax Deed Sales Government Property Sales Permit and License Applications
Foreclosures
Mortgage
Name Changes
Stay Informed, It’s Your Right to Know. For legal notice listings go to: Legals.BusinessObserverFL.com To publish your legal notice call: 941-906-9386 or Legal@BusinessObserverFL.com Commercial NoticesCourt Notices XNLV18187

CHARLOTTE COUNTY LEGAL NOTICES

PUBLIC SALES

FIRST INSERTION

FILING INSTRUCTIONS

NOTICE OF AGENCY ACTION

Notice is hereby provided that the South Florida Water Management District, on June 12, 2024, issued an Environmental Resource Permit (New Construction Operation), Permit Number 36-110084-P, Application Number 230815-39896, with conditions to Florida Department of Transportation District 1, at 801 North Broadway Avenue, Bartow, Fl. 33830 for the construction and operation of stormwater management (SWM) system serving of 381.22 acres for transportation development known as SR-31 from South of SR 78 To North of Horseshoe Rd. 442027-2. This permit authorizes the construction of the new SR31 roadway an approximate 26,380 linear foot four lane roadway with associated infrastructure located to the east of the existing SR 31. The stormwater for the new SR 31 roadway is designed for conceptual six lane configuration; the SWM facilities consist of wet detention and conveyance connections for offsite flows and the existing SR 31 roadway will be converted into a frontage road and maintained by Lee County.

A copy of the permit can be obtained by contacting the Regulatory Records Management Section, during normal business hours, 8:00 a.m. to 5:00 p.m., Monday through Friday, except legal holidays, at 3301 Gun Club Road, West Palm Beach, FL 33406, Regulation Division, by telephone at 561-682-6911, by e-mail at permits@sfwmd.gov, or by accessing the permit directly from the District’s website (www.sfwmd.gov) using the Application/Permit Search on the ePermitting page. The District’s agency action is final unless a timely petition for an administrative hearing is filed under Sections 120.569 and 120.57 of the Florida Statutes before the deadline for filing a petition.

As required by Sections 120.569 and 120.60(3), Fla. Stat., the following is notice of the opportunities which may be available for administrative hearing or judicial review when the substantial interests of a party are determined by an agency. Please note that this Notice of Rights is not intended to provide legal advice. Not all of the legal proceedings detailed below may be an applicable or appropriate remedy. You may wish to consult an attorney regarding your legal rights.

RIGHT TO REQUEST ADMINISTRATIVE HEARING

A person whose substantial interests are or may be affected by the South Florida Water Management District’s (SFWMD or District) action has the right to request an administrative hearing on that action pursuant to Sections 120.569 and 120.57, Fla. Stat. Persons seeking a hearing on a SFWMD decision which affects or may affect their substantial interests shall file a petition for hearing with the Office of the District Clerk of the SFWMD, in accordance with the filing instructions set forth herein, within 21 days of receipt of written notice of the decision, unless one of the following shorter time periods apply: (1) within 14 days of the notice of consolidated intent to grant or deny concurrently reviewed applications for environmental resource permits and use of sovereign submerged lands pursuant to Section 373.427, Fla. Stat.; or (2) within 14 days of service of an Administrative Order pursuant to Section 373.119(1), Fla. Stat. “Receipt of written notice of agency decision” means receipt of written notice through mail, electronic mail, or posting that the SFWMD has or intends to take final agency action, or publication of notice that the SFWMD has or intends to take final agency action. Any person who receives written notice of a SFWMD decision and fails to file a written request for hearing within the timeframe described above waives the right to request a hearing on that decision.

If the District takes final agency action which materially differs from the noticed intended agency decision, persons who may be substantially affected shall, unless otherwise provided by law, have an additional Rule 28-106.111, Fla. Admin. Code, point of entry.

Any person to whom an emergency order is directed pursuant to Section 373.119(2), Fla. Stat., shall comply therewith immediately, but on petition to the board shall be afforded a hearing as soon as possible.

A person may file a request for an extension of time for filing a petition. The SFWMD may, for good cause, grant the request. Requests for extension of time must be filed with the SFWMD prior to the deadline for filing a petition for hearing. Such requests for extension shall contain a certificate that the moving party has consulted with all other parties concerning the extension and that the SFWMD and any other parties agree to or oppose the extension. A timely request for an extension of time shall toll the running of the time period for filing a petition until the request is acted upon.

FIRST INSERTION

NOTICE OF PUBLIC SALE

Notice is hereby given that on 7/5/2024 at 10:30 am, the following mobile home will be sold at public auction pursuant to F.S. 715.109. 1968 CHLN HS B135XFL3934 . Last Tenants: LONNIE BRICK, E’JAI GEMICE ERNESTENE OBRIEN, AND DANIEL DAVID O’BRIEN and all unknown parties beneficiaries heirs . Sale to be at PALMS & PINES INC, 5400 RIVERSIDE DRIVE, PUNTA GORDA, FL 33982. 813-241-8269. June 21, 28, 2024 24-00597T

FIRST INSERTION

Notice of Self Storage Sale

Please take notice Hide-Away Storage – Punta Gorda located at 6221 Marlympia Way, Punta Gorda, FL 33950 intends to hold a sale to sell the property stored at the Facility by the below Occupants whom are in default at an Auction. The sale will occur as an online auction via www.storagetreasures.com on 7/10/2024 at 10:00AM. Unless stated otherwise the description of the contents are household goods, furnishings and garage essentials. Mark Owens unit #C166; Crista Wiles unit #E311. This sale may be withdrawn at any time without notice. Certain terms and conditions apply. See manager for details. June 21, 28, 2024 24-00582T

NOTICE IS HEREBY GIVEN that the undersigned, desiring to engage in business under the Fictitious Name of Mr. Rooter Plumbing of Naples located at 14 Swimming Pen Drive Suite 12 in the City of Middleburg, Charlotte County, FL 32217 intends to register the said name with the Division of Corporations of the Department of State, Tallahassee, Florida.

Dated this 18th day of June, 2024. Alcideworks LLC June 21, 2024 24-00594T

A petition for administrative hearing must be filed with the Office of the District Clerk of the SFWMD. Filings with the Office of the District Clerk may be made by mail, hand-delivery, or e-mail. Filings by facsimile will not be accepted. A petition for administrative hearing or other document is deemed filed upon receipt during normal business hours by the Office of the District Clerk at SFWMD headquarters in West Palm Beach, Florida. The District’s normal business hours are 8:00 a.m. –5:00 p.m., excluding weekends and District holidays. Any document received by the Office of the District Clerk after 5:00 p.m. shall be deemed filed as of 8:00 a.m. on the next regular business day. Additional filing instructions are as follows:

• Filings by mail must be addressed to the Office of the District Clerk, 3301 Gun Club Road, West Palm Beach, Florida 33406.

• Filings by hand-delivery must be delivered to the Office of the District Clerk. Delivery of a petition to the SFWMD’s security desk does not constitute filing. It will be necessary to request that the SFWMD’s security officer contact the Office of the District Clerk. An employee of the SFWMD’s Clerk’s office will receive and file the petition.

• Filings by e-mail must be transmitted to the Office of the District Clerk at clerk@sfwmd.gov. The filing date for a document transmitted by electronic mail shall be the date the Office of the District Clerk receives the complete document. A party who files a document by e-mail shall (1) represent that the original physically signed document will be retained by that party for the duration of the proceeding and of any subsequent appeal or subsequent proceeding in that cause and that the party shall produce it upon the request of other parties; and (2) be responsible for any delay, disruption, or interruption of the electronic signals and accepts the full risk that the document may not be properly filed.

INITIATION OF AN ADMINISTRATIVE HEARING

Pursuant to Sections 120.54(5)(b)4. and 120.569(2)(c), Fla. Stat., and Rules 28106.201 and 28-106.301, Fla. Admin. Code, initiation of an administrative hearing shall be made by written petition to the SFWMD in legible form and on 8 1/2 by 11 inch white paper. All petitions shall contain:

1. Identification of the action being contested, including the permit number, application number, SFWMD file number or any other SFWMD identification number, if known.

2. The name, address, any email address, any facsimile number, and telephone number of the petitioner and petitioner’s representative, if any.

3. An explanation of how the petitioner’s substantial interests will be affected by the agency determination.

4. A statement of when and how the petitioner received notice of the SFWMD’s decision.

5. A statement of all disputed issues of material fact. If there are none, the petition must so indicate.

6. A concise statement of the ultimate facts alleged, including the specific facts the petitioner contends warrant reversal or modification of the SFWMD’s proposed action.

7. A statement of the specific rules or statutes the petitioner contends require reversal or modification of the SFWMD’s proposed action.

8. If disputed issues of material fact exist, the statement must also include an explanation of how the alleged facts relate to the specific rules or statutes.

9. A statement of the relief sought by the petitioner, stating precisely the action the petitioner wishes the SFWMD to take with respect to the SFWMD’s proposed action.

MEDIATION

The procedures for pursuing mediation are set forth in Section 120.573, Fla. Stat., and Rules 28-106.111 and 28-106.401–.405, Fla. Admin. Code. The SFWMD is not proposing mediation for this agency action under Section 120.573, Fla. Stat., at this time.

RIGHT TO SEEK JUDICIAL REVIEW

Pursuant to Section 120.68, Fla. Stat., and in accordance with Florida Rule of Appellate Procedure 9.110, a party who is adversely affected by final SFWMD action may seek judicial review of the SFWMD’s final decision by filing a notice of appeal with the Office of the District Clerk of the SFWMD in accordance with the filing instructions set forth herein within 30 days of rendition of the order to be reviewed, and by filing a copy of the notice with the clerk of the appropriate district court of appeal. June 21, 2024 24-00595T

FIRST INSERTION

NOTICE TO CREDITORS IN THE CIRCUIT COURT FOR CHARLOTTE COUNTY, FLORIDA PROBATE DIVISION File No. 24000620CP Division Probate IN RE: ESTATE OF GEORGE KUSHCH, Deceased.

The administration of the estate of George Kushch, deceased, whose date of death was August 27, 2023, is pending in the Circuit Court for Charlotte County, Florida, Probate Division, the address of which is 350 E. Marion Ave., Punta Gorda, FL 33950. The names and addresses of the personal representative and the personal representative’s attorney are set forth below.

All creditors of the decedent and other persons having claims or demands against decedent’s estate on whom a copy of this notice is required to be served must file their claims with this court ON OR BEFORE THE LATER OF 3 MONTHS AFTER THE TIME OF THE FIRST PUBLICATION OF THIS NOTICE OR 30 DAYS AFTER THE DATE OF SERVICE OF A COPY OF THIS NOTICE ON THEM.

All other creditors of the decedent and other persons having claims or demands against decedent’s estate must

file their claims with this court WITHIN 3 MONTHS AFTER THE DATE OF THE FIRST PUBLICATION OF THIS NOTICE.

ALL CLAIMS NOT FILED WITHIN THE TIME PERIODS SET FORTH IN FLORIDA STATUTES SECTION 733.702 WILL BE FOREVER BARRED. NOTWITHSTANDING THE TIME PERIODS SET FORTH ABOVE, ANY CLAIM FILED TWO (2) YEARS OR MORE AFTER THE DECEDENT’S DATE OF DEATH IS BARRED.

The date of first publication of this notice is June 21, 2024.

Personal Representative: Nadia Kushch 16220 Edile Avenue Port Charlotte, FL 33954

Attorney for Personal Representative: Albert Stickley III, Esquire

Attorney Florida Bar Number: 51605

737 S. Indiana Ave., Suite A Englewood, FL 34223

Telephone: (941) 474-5506

Fax: (941) 474-5507

E-Mail: aj@stickleylaw.com

Secondary E-Mail: skyelar@stickleylaw.com June 21, 28, 2024 24-00598T

Who

You

When the government is about to change your

FIRST INSERTION

PUBLIC NOTICE OF INTENT TO ISSUE AIR PERMIT

Florida Department of Environmental Protection Division of Air Resource Management, Permit Review Section Draft Air Permit No. 0150093-017-AC The Quikrete Companies, LLC- Punta Gorda Plant, Aggregate Dryer Replacement (EU 004) Project Charlotte County, Florida

Applicant: The applicant for this project is The Quikrete Companies, LLC. The applicant’s authorized representative and mailing address is: Mr. Hayes Kern, Regional Operations Manager, The Quikrete Companies, LLC, 12201 NW 25th Street, Bld. C, Miami, Florida 33182.

Facility Location: The Quikrete Companies, LLC operates the Punta Gorda Plant, which is in Charlotte County at 7000 Progress Drive, Punta Gorda, Florida. Project: The applicant applied on March 25, 2024, for an air construction permit. The air construction permit is for the replacement of a natural gas aggregate dryer (EU 004) controlled by a baghouse. The Department does not anticipate any increase in emissions due to the project. Consequently, a review under the Prevention of Significant Deterioration program in Rule 62-212.400 of the Florida Administrative Code was not required. Details of the project are provided in the application and the Technical Evaluation & Preliminary Determination document.

Permitting Authority: Applications for air construction permits are subject to review in accordance with the provisions of Chapter 403, Florida Statutes (F.S.) and Chapters 62-4, 62-210 and 62-212 of the Florida Administrative Code (F.A.C.). The proposed project is not exempt from air permitting requirements and an air permit is required to perform the proposed work. The Permitting Authority responsible for making a permit determination for this project is the Permit Review Section in the Department of Environmental Protection’s Division of Air Resource Management. The Permitting Authority’s physical address is: 2600 Blair Stone Road, Tallahassee, Florida. The Permitting Authority’s mailing address is: 2600 Blair Stone Road, MS #5505, Tallahassee, Florida 32399-2400. The Permitting Authority’s phone number is 850-717-9000.

Project File: A complete project file is available for public inspection during the normal business hours of 8:00 a.m. to 5:00 p.m., Monday through Friday (except legal holidays), at the address indicated above for the Permitting Authority. The complete project file includes the Draft Permit, the Technical Evaluation and Preliminary Determination, the application and information submitted by the applicant (exclusive of confidential records under Section 403.111, F.S.). Interested persons may contact the Permitting Authority’s project engineer for additional information at the address and phone number listed above. In addition, electronic copies of these documents are available on the following web site by entering the draft permit number: https://fldep.dep.state.fl.us/air/emission/apds/default.asp

Notice of Intent to Issue Air Permit: The Permitting Authority gives notice of its intent to issue an air construction permit to the applicant for the project described above. The applicant has provided reasonable assurance that operation of proposed equipment will not adversely impact air quality and that the project will comply with all applicable provisions of Chapters 62-4, 62-204, 62-210, 62-212, 62-296 and 62-297, F.A.C. The Permitting Authority will issue a Final Permit in accordance with the conditions of the proposed Draft Permit unless a timely petition for an administrative hearing is filed under Sections 120.569 and 120.57, F.S. or unless public comment received in accordance with this notice results in a different decision or a significant change of terms or conditions.

Comments: The Permitting Authority will accept written comments concerning the proposed Draft Permit for a period of 14 days from the date of publication of the Public Notice. Written comments must be received by the Permitting Authority by close of business (5:00 p.m.) on or before the end of this 14-day period to the above address and electronically to David Read at David.Read@FloridaDEP.gov. If written comments received result in a significant change to the Draft Permit, the Permitting Authority shall revise the Draft Permit and require, if applicable, another Public Notice. All comments filed will be made available for public inspection.

Petitions: A person whose substantial interests are affected by the proposed permitting decision may petition for an administrative hearing in accordance with Sections 120.569 and 120.57, F.S. Petitions filed by any persons other than those entitled to written notice under Section 120.60(3), F.S., must be filed within 14 days of publication of the Public Notice or receipt of a written notice, whichever occurs first. Under Section 120.60(3), F.S., however, any person who asked the Permitting Authority for notice of agency action may file a petition within 14 days of receipt of that notice, regardless of the date of publication. A petitioner shall mail a copy of the petition to the applicant at the address indicated above, at the time of filing. A petition for administrative hearing must contain the information set forth below and must be filed (received) with the Agency Clerk in the Office of General Counsel, 3900 Commonwealth Boulevard, MS 35, Tallahassee, Florida 32399-3000, Agency_Clerk@dep.state.fl.us, before the deadline. The failure of any person to file a petition within the appropriate time period shall constitute a waiver of that person’s right to request an administrative determination (hearing) under Sections 120.569 and 120.57, F.S., or to intervene in this proceeding and participate as a party to it. Any subsequent intervention (in a proceeding initiated by another party) will be only at the approval of the presiding officer upon the filing of a motion in compliance with Rule 28-106.205, F.A.C.

A petition that disputes the material facts on which the Permitting Authority’s action is based must contain the following information: (a) The name and address of each agency affected and each agency’s file or identification number, if known; (b) The name, address, any email address, telephone number and any facsimile number of the petitioner; the name, address any email address, telephone number, and any facsimile number of the petitioner’s representative, if any, which shall be the address for service purposes during the course of the proceeding; and an explanation of how the petitioner’s substantial interests will be affected by the agency determination; (c) A statement of when and how each petitioner received notice of the agency action or proposed decision; (d) A statement of all disputed issues of material fact. If there are none, the petition must so state; (e) A concise statement of the ultimate facts alleged, including the specific facts the petitioner contends warrant reversal or modification of the agency’s proposed action; (f) A statement of the specific rules or statutes the petitioner contends require reversal or modification of the agency’s proposed action including an explanation of how the alleged facts relate to the specific rules or statutes; and, (g) A statement of the relief sought by the petitioner, stating precisely the action the petitioner wishes the agency to take with respect to the agency’s proposed action. A petition that does not dispute the material facts upon which the Permitting Authority’s action is based shall state that no such facts are in dispute and otherwise shall contain the same information as set forth above, as required by Rule 28-106.301, F.A.C.

Because the administrative hearing process is designed to formulate final agency action, the filing of a petition means that the Permitting Authority’s final action may be different from the position taken by it in this Public Notice of Intent to Issue Air Permit. Persons whose substantial interests will be affected by any such final decision of the Permitting Authority on the application have the right to petition to become a party to the proceeding, in accordance with the requirements set forth above. Extension of Time: Under Rule 62-110.106(4), F.A.C., a person whose substantial interests are affected by the Department’s action may also request an extension of time to file a petition for an administrative hearing. The Department may, for good cause shown, grant the request for an extension of time. Requests for extension of time must be filed with the Office of General Counsel of the Department at 3900 Commonwealth Boulevard, Mail Station 35, Tallahassee, Florida 32399-3000, or via electronic correspondence at Agency_Clerk@dep.state.fl.us, before the deadline for filing a petition for an administrative hearing. A timely request for extension of time shall toll the running of the time period for filing a petition until the request is acted upon.

Mediation: Mediation is not available in this proceeding. June 21, 2024 24-00583T FIRST INSERTION Notice Under Fictitious Name Law According to Florida Statute Number 865.09

36 JUNE 21 - JUNE 27, 2024 BUSINESS OBSERVER MANATEE COUNTY 36 CHARLOTTE COUNTY
LV18237_V25
---
----- ESTATE ---
benefits from legal notices?
large.
do. Legal notices are required because a government body or corporation wants to take action that can affect individuals and the public at
life, or your property or assets are about to be taken, public notices in newspapers serve to alert those affected.

FIRST INSERTION

NOTICE TO CREDITORS IN THE CIRCUIT COURT OF THE TWENTIETH JUDICIAL CIRCUIT IN AND FOR CHARLOTTE COUNTY, FLORIDA PROBATE DIVISION CASE NO. 24000669CP IN RE: ESTATE OF JOHN JOSEPH MURPHY Deceased.

The administration of the Estate of JOHN JOSEPH MURPHY, deceased, whose date of death was May 26, 2024, is pending in the Circuit Court for CHARLOTTE County, Florida, Probate Division, the address is 350 E Marion Ave, Punta Gorda, FL 33950. The personal representative’s and the personal representative’s attorney names and addresses are set forth below.

All creditors of the decedent and other persons having claims or demands against decedent’s estate whom a copy of this notice is required to be served must file their claims with this Court WITHIN THE LATER OF 3 MONTHS AFTER THE TIME OF THE FIRST PUBLICATION OF THIS NOTICE OR 30 DAYS AFTER THE DATE OF SERVICE OF A COPY OF THIS NOTICE ON THEM.

All other creditors of the decedent and other persons having claims or demands against decedent’s estate must file their claims with this court WITHIN 3 MONTHS AFTER THE DATE OF THE FIRST PUBLICATION OF THIS NOTICE. ALL CLAIMS NOT FILED WITHIN THE TIME PERIODS SET FORTH IN THE FLORIDA STATUTES WILL BE FOREVER BARRED.

NOTWITHSTANDING THE TIME PERIODS SET FORTH ABOVE, ANY CLAIM FILED TWO (2) YEARS OR MORE AFTER THE DECEDENT’S DATE OF DEATH IS BARRED.

The first publication of this notice is June 21, 2024.

TIMOTHY MURPHY Personal Representative

/S/ RICHARD M. RICCIARDI, JR.

RICHARD M. RICCIARDI, JR., ESQ.

Florida Bar No. 90567

Your Advocates, P.A.

2050 McGregor Blvd.

Fort Myers, FL 33901

Phone: (239) 689-1096

Fax: (239) 791-8132

E-mail: rricciardi@your-advocates.org

June 21, 28, 2024 24-00596T

FIRST INSERTION

NOTICE TO CREDITORS (Summary Administration) IN THE CIRCUIT COURT FOR CHARLOTTE COUNTY, FLORIDA PROBATE DIVISION File No. 24000579CP Division Probate IN RE: ESTATE OF ROBERT E. KAMPER a/k/a ROBERT KAMPER, Deceased. TO ALL PERSONS HAVING CLAIMS OR DEMANDS AGAINST THE ABOVE ESTATE: You are hereby notified that an Order of Summary Administration has been entered in the estate of ROBERT E. KAMPER a/k/a ROBERT KAMPER, deceased, File Number 24000579CP by the Circuit Court for Charlotte County, Florida, Probate Division, the address of which is 350 E. Marion Ave., Punta Gorda, Florida 33950; that the decedent’s date of death was June 3, 2023; that the total value of the estate is $46,500.00 and that the names and addresses of those to whom it has been assigned by such order are: Name: Address: Beneficiaries of the Estate of Marilyn Kamper, deceased

c/o Patricia Herther 1774 Creek Wood Dr. Dubuque, IA 52003 ALL INTERESTED PERSONS ARE NOTIFIED THAT: All creditors of the estate of the decedent and persons having claims or demands against the estate of the decedent other than those for whom provision for full payment was made in the Order of Summary Administration must file their claims with this court WITHIN THE TIME PERIODS SET FORTH IN FLORIDA STATUTES SECTION 733.702. ALL CLAIMS AND DEMANDS NOT SO FILED WILL BE FOREVER BARRED. NOTWITHSTANDING ANY OTHER APPLICABLE TIME PERIOD, ANY CLAIM FILED TWO (2) YEARS OR MORE AFTER THE DECEDENT’S DATE OF DEATH IS BARRED. The date of first publication of this Notice is June 21, 2024. Person Giving Notice: Patricia Herther 1774

FIRST INSERTION

NOTICE TO CREDITORS IN THE CIRCUIT COURT FOR CHARLOTTE COUNTY, FLORIDA

PROBATE DIVISION File No. 24-534 CP Division Probate IN RE: ESTATE OF JOHN W. HOUGH, JR., Deceased.

The administration of the estate of John W. Hough, Jr., deceased, whose date of death was April 22, 2024, is pending in the Circuit Court for Charlotte County, Florida, Probate Division, the address of which is 350 E. Marion Avenue, Punta Gorda, Florida 33950. The names and addresses of the personal representative and the personal representative’s attorney are set forth below.

All creditors of the decedent and other persons having claims or demands against decedent’s estate on whom a copy of this notice is required to be served must file their claims with this court WITHIN THE LATER OF 3 MONTHS AFTER THE TIME OF THE FIRST PUBLICATION OF THIS NOTICE OR 30 DAYS AFTER THE DATE OF SERVICE OF A COPY OF THIS NOTICE ON THEM.

All other creditors of the decedent and other persons having claims or demands against decedent’s estate must file their claims with this court WITHIN 3 MONTHS AFTER THE DATE OF THE FIRST PUBLICATION OF THIS NOTICE.

ALL CLAIMS NOT FILED WITHIN THE TIME PERIODS SET FORTH IN SECTION 733.702 OF THE FLORIDA PROBATE CODE WILL BE FOREVER BARRED.

NOTWITHSTANDING THE TIME PERIODS SET FORTH ABOVE, ANY CLAIM FILED TWO (2) YEARS OR MORE AFTER THE DECEDENT’S DATE OF DEATH IS BARRED.

The date of first publication of this notice is June 21, 2024.

Personal Representative: Jennifer Hough 477 Peace Portal Drive #107-285 Blaine, Washington 98230

Attorney for Personal Representative: Pamela D. Keller, Esquire

Attorney for Personal Representative Florida Bar Number: 082627 Keller Law Office, P.A. 201 W. Marion Ave., Suite 1209 Punta Gorda, Florida 33950 Telephone: (941) 505-2555 Fax: (941) 505-2355

E-Mail: Administrator@kellerlaw.biz June 21, 28, 2024 24-00586T

FIRST INSERTION NOTICE TO CREDITORS (Summary Administration) IN THE CIRCUIT COURT FOR CHARLOTTE COUNTY, FLORIDA PROBATE DIVISION File No. 24000580CP Division Probate IN RE: ESTATE OF MARILYN KAMPER, Deceased. TO ALL PERSONS HAVING CLAIMS OR DEMANDS AGAINST THE ABOVE ESTATE:

You are hereby notified that an Order of Summary Administration has been entered in the estate of MARILYN KAMPER, deceased, File Number 24000580CP by the Circuit Court for Charlotte County, Florida, Probate Division, the address of which is 350 E. Marion Ave., Punta Gorda, Florida 33950; that the decedent’s date of death was December 6, 2023; that the total value of the estate is $46,500.00 and that the names and addresses of those to whom it has been assigned by such order are:

Name: Address: Patricia Herther 1774 Creek Wood Dr. Dubuque, IA 52003

Daniel R. Kamper 15148 LeClaire Ave. Oak Forest, IL 60452 ALL INTERESTED PERSONS ARE NOTIFIED THAT:

All creditors of the estate of the decedent and persons having claims or demands against the estate of the decedent other than those for whom provision for full payment was made in the Order of Summary Administration must file their claims with this court WITHIN THE TIME PERIODS SET FORTH IN FLORIDA STATUTES SECTION 733.702. ALL CLAIMS AND DEMANDS NOT SO FILED WILL BE FOREVER BARRED. NOTWITHSTANDING ANY OTHER APPLICABLE TIME PERIOD, ANY CLAIM FILED TWO (2) YEARS OR MORE AFTER THE DECEDENT’S DATE OF DEATH IS BARRED.

The date of first publication of this Notice is June 21, 2024. Person Giving Notice: Patricia Herther 1774 Creek Wood Dr. Dubuque, IA 52003

Attorney for Person Giving Notice: Ariana R. Fileman, Esq. Florida Bar No. 0990612 Fileman

P.A.

FIRST INSERTION

NOTICE TO CREDITORS IN THE CIRCUIT COURT FOR CHARLOTTE COUNTY, FLORIDA

PROBATE DIVISION File No. 24-000554-CP Division Probate IN RE: ESTATE OF JAMES C. KNOTT, Deceased.

The administration of the estate of James C. Knott, deceased, whose date of death was March 7, 2024, is pending in the Circuit Court for Charlotte County, Florida, Probate Division, the address of which is 350 E. Marion Ave., Punta Gorda, FL 33950. The names and addresses of the personal representative and the personal representative’s attorney are set forth below.

All creditors of the decedent and other persons having claims or demands against decedent’s estate on whom a copy of this notice is required to be served must file their claims with this court ON OR BEFORE THE LATER OF 3 MONTHS AFTER THE TIME OF THE FIRST PUBLICATION OF THIS NOTICE OR 30 DAYS AFTER THE DATE OF SERVICE OF A COPY OF THIS NOTICE ON THEM.

All other creditors of the decedent and other persons having claims or demands against decedent’s estate must file their claims with this court WITHIN 3 MONTHS AFTER THE DATE OF THE FIRST PUBLICATION OF THIS NOTICE.

ALL CLAIMS NOT FILED WITHIN THE TIME PERIODS SET FORTH IN FLORIDA STATUTES SECTION 733.702 WILL BE FOREVER BARRED.

NOTWITHSTANDING THE TIME PERIODS SET FORTH ABOVE, ANY CLAIM FILED TWO (2) YEARS OR MORE AFTER THE DECEDENT’S DATE OF DEATH IS BARRED.

The date of first publication of this notice is June 21, 2024.

Personal Representative: Tamra A. Olry 4148 Greendale Dr. Fort Wayne, IN 46815

Attorney for Personal Representative: Guy S. Emerich, Esq. Florida Bar Number: 126991 Farr Law Firm P.A. 99 Nesbit Street Punta Gorda, FL 33950

Telephone: (941) 639-1158 Fax: (941) 639-0028 E-Mail: gemerich@farr.com

Secondary E-Mail: sziegler@farr.com and probate@farr.com June 21, 28, 2024 24-00593T

FIRST INSERTION

NOTICE TO CREDITORS IN THE CIRCUIT COURT FOR Charlotte COUNTY, FLORIDA PROBATE DIVISION File No. 24000632CP Division Probate IN RE: ESTATE OF Karen S. McBride Deceased.

The administration of the estate of Karen S. McBride, deceased, whose date of death was April 15th, 2024, is pending in the Circuit Court for Charlotte County, Florida, Probate Division, the address of which is 350 E. Marion Avenue, Punta Gorda, FL 33950. The names and addresses of the personal representative and the personal representative’s attorney are set forth below. All creditors of the decedent and other persons having claims or demands against decedent’s estate on whom a copy of this notice is required to be served must file their claims with this court ON OR BEFORE THE LATER OF 3 MONTHS AFTER THE TIME OF THE FIRST PUBLICATION OF THIS NOTICE OR 30 DAYS AFTER THE DATE OF SERVICE OF A COPY OF THIS NOTICE ON THEM.

All other creditors of the decedent and other persons having claims or demands against decedent’s estate must file their claims with this court WITHIN 3 MONTHS AFTER THE DATE OF THE FIRST PUBLICATION OF THIS NOTICE.

ALL CLAIMS NOT FILED WITHIN THE TIME PERIODS SET FORTH IN FLORIDA STATUTES SECTION 733.702 WILL BE FOREVER BARRED. NOTWITHSTANDING THE TIME PERIODS SET FORTH ABOVE, ANY CLAIM FILED TWO (2) YEARS OR MORE AFTER THE DECEDENT’S DATE OF DEATH IS BARRED.

The date of first publication of this notice is June 21, 2024. Mark Sever

c/o Kanetksy, Moore & DeBoer, PA P.O. Address: 227 Nokomis Avenue South Venice, FL 34285

Personal Representative

JON R. FAHS, Jr. KANETSKY, MOORE & DeBOER, P.A. ATTORNEYS AT LAW

Attorneys for Personal Representative

227 S. NOKOMIS AVE. VENICE, FL 34285

Telephone: (941) 485-1571

Florida Bar No. 1025389

Email Addresses: jrf@kmdpa.com June 21, 28, 2024 24-00587T

NOTICE OF FORECLOSURE SALE IN THE CIRCUIT COURT FOR THE TWENTIETH JUDICIAL CIRCUIT IN AND FOR CHARLOTTE COUNTY, FLORIDA CIVIL DIVISION Case No.: 23-CA-3691 UMB BANK, NATIONAL ASSOCIATION, not in its individual capacity, but solely as legal title trustee for PRL Title Trust I, Plaintiff, v. GOLD INVESTOR LLC, a Nevada limited liability company; TARAS YURCHAK, an individual; DOT LUMBER, LLC, a Florida limited liability company; SOUTH GULF COVE HOMEOWNERS

ASSOCIATION, INC., a Florida corporation; UNKNOWN TENANT# 1; UNKNOWN TENANT #2; and ALL UNKNOWN PARTIES CLAIMING INTERESTS BY, THROUGH, UNDER OR AGAINST A NAMED DEFENDANT TO THIS ACTION, OR HAVING OR CLAIMING TO HAVE ANY RIGHT, TITLE OR INTEREST IN THE PROPERTY HEREIN DESCRIBED, Defendants.

NOTICE IS HEREBY GIVEN pursuant to the Final Judgment of Foreclosure dated April 17, 2024, entered in Case No. 23-CA-3691 of the Circuit Court of Charlotte County, Florida, wherein UMB BANK, NATIONAL ASSOCIATION, not in its individual capacity, but solely as legal title trustee for PRL Title Trust I, is the Plaintiff, and GOLD INVESTOR LLC, a Nevada limited liability company; TARAS YURCHAK, an individual; and SOUTH GULF COVE HOMEOWNERS ASSOCIATION, INC., are the Defendants, that the Clerk will sell to the highest and best bidder for cash online at www.charlotte.realforeclose. com on August 5, 2024, at 11:00 a.m., the following described property as set forth in said Final Judgment: Lot 36, Block 4646, PORT CHARLOTTE SUBDIVISION, SECTION EIGHTY SEVEN, according to the Plat thereof, recorded in Plat Book 7, Page(s) 20A through 20N, of the Public Records of Charlotte County, Florida. TOGETHER WITH the personal property described in attached EXHIBIT “A.” a/k/a 10658 Rainsville Street, Port Charlotte, FL 33981 ** ANY PERSON CLAIMING AN INTEREST IN THE SURPLUS FROM THE SALE, IF ANY, OTHER THAN THE PROPERTY OWNER AS OF THE DATE OF LIS PENDENS MUST FILE A CLAIM WITHIN SIXTY (60) DAYS AFTER THE SALE. ** EXHIBIT “A” Description of Collateral 1. All apparatus, machinery, devices, fixtures, communication devices, systems and equipment, fittings, appurtenances, equipment, appliances, furniture, furnishings, appointments, accessories,

landscaping, plants and all other items of personal property located at, in or on the real estate legally described in Exhibit “B” attached hereto and by reference made a part hereof and/or the improvements located on such real estate (collectively the “Property”) or used in the operation or maintenance of the Property or any business or operation conducted thereon. All fixtures and equipment now or hereafter installed for use in the operation of the buildings, structures and improvements now or hereafter on the Property, including but not limited to, all lighting, heating, cooling, ventilating, air-conditioning, plumbing, sprinkling, incinerating, refrigerating, air-cooling, lifting, fire extinguishing, cleaning, entertaining, security, communicating and electrical and power systems, and the machinery, appliances, fixtures and equipment pertaining thereto, all awnings, ovens, stoves, refrigerators, dishwashers, disposals, carpeting, switchboards, engines, motors, tanks, pumps, screens, storm doors and windows, shades, floor coverings, ranges, washers, dryers, disposals, cabinets, furniture, partitions, conduits, ducts and compressors, and all elevators and escalators and the machinery and appliances, fixtures and equipment pertaining thereto, other than any such items that are owned by tenants of all or any portion of the Property;

2. Any and all revenues, receivables and income now owned or hereafter acquired and arising from or out of the Property and/or the businesses and operations conducted thereon;

3. Any and all other personal property of any kind, nature or description, whether tangible or intangible, (including without limitation, any and all goods, accounts, contract rights, franchises, licenses, permits, chattel paper, money, documents, instruments and general intangibles) of Debtor arising from, relating to or used in connection with the operation or maintenance of the Property, whether now owned or hereafter acquired, or in which Debtor now has or shall hereafter acquire any right, title or interest whatsoever (whether by bill of sale, lease, conditional sales contract, or other title retention document or otherwise);

4. All awards or payments, including interest thereon, that may heretofore and hereafter be made with respect to the Property, whether from the exercise of the right of eminent domain or condemnation (including, without limitation, any transfer made in lieu of or in anticipation of the exercise of said rights), or for a change of grade, or for any other injury to or decrease in the value of the Property;

5. All proceeds of and any unearned premiums on any insurance policies covering the Property, including, without limitation, the right to receive and apply the proceeds of any insurance, judgments, or settlements made in lieu thereof, for damage to the Property;

6. All accounts, escrows, impounds, reserves, documents, instruments, chattel paper, claims, deposits and gen-

eral intangibles, as the foregoing terms are defined in the Uniform Commercial Code, and all franchises, trade names, trademarks, symbols, service marks, books, records, plans, specifications, designs, drawings, permits, consents, licenses (including liquor licenses, to the extent assignable), license agreements, operating contracts, contract rights (including, without limitation, any contract with any architect or engineer or with any other provider of goods or services for or in connection with any construction, repair, or other work upon the Property) and all management, franchise, service, supply and maintenance contracts and agreements, and any other agreements, permits or contracts of any nature whatsoever now or hereafter obtained or entered into by the Debtor with respect to the operation or ownership of the Property; and all approvals, actions, refunds of real estate taxes and assessments (and any other governmental impositions related to the Land); and all causes of action that now or hereafter relate to, are derived from or are used in connection with the Property, or the use, operation, maintenance, occupancy or enjoyment thereof or the conduct of any business or activities thereon; and 7. All additions and accessories to any of the foregoing, all proceeds, products, offspring, rents and profits from any of the foregoing, including, without limitation, those from sale, exchange, transfer, collection, loss, damage, renewal, disposition, substitution or replacement of any of the foregoing, and all of the books and records pertaining to any of the foregoing. If you are a person with a disability who needs any accommodation in order to participate in this proceeding, you are entitled, at no cost to you, to the provision of certain assistance. Please contact Jon Embury, Administrative Services Manager, whose office is located at 350 E. Marion Avenue, Punta Gorda, Florida 33950, and whose telephone number is (941) 637-2110, at least 7 days before your scheduled court appearance, or immediately upon receiving this notification if the time before the scheduled appearance is less than 7 days; if you are hearing or voice impaired, call 711.

Dated this day of 06/19/2024. Clerk of the Circuit Court Roger D. Eaton By: (SEAL) B. Lackey Deputy Clerk

GERALD D. DAVIS gdavis@trenam.com | bshepard@trenam.com | ohoeppner@trenam.com TRENAM, KEMKER, SCHARF, BARKIN, FRYE, O’NEILL & MULLIS, P.A. 200 Central Avenue, Suite 1600 St. Petersburg, FL 33701 Tel: (727) 896-7171

Attorneys for Wilmington Savings Fund Society FSB, not in its individual capacity, but solely as trustee for Residential Mortgage Aggregation Trust June 21, 28, 2024 24-00599T

37 BusinessObserverFL.com CHARLOTTE COUNTY JUNE 21 - JUNE 27, 2024
Wood
for Person
Ariana R. Fileman,
Florida Bar No. 0990612 Fileman Law Firm, P.A. 201 W. Marion Ave., Suite 1208 Punta Gorda, FL 33950 Tel. (941) 833-5560 June 21, 28, 2024 24-00591T
Creek
Dr. Dubuque, IA 52003 Attorney
Giving Notice:
Esq.
201 W. Marion Ave., Suite 1208 Punta Gorda, FL 33950 Tel. (941) 833-5560 June 21, 28, 2024 24-00592T
Law Firm,
--- ESTATE --- --- SALES --SP13858
FIRST INSERTION

CLERK’S NOTICE OF SALE

UNDER F.S. CHAPTER 45 IN THE CIRCUIT COURT OF THE TWENTIETH JUDICIAL CIRCUIT IN AND FOR CHARLOTTE COUNTY, FLORIDA

CIVIL DIVISION

Case No.: 23004139CA

HERB FALK and WILL FALK, Plaintiffs, v. JASPER STONES INVESTMENTS, LLC AND THE STATE OF FLORIDA, Defendants.

NOTICE IS GIVEN that, in accordance with the Default Final Judgment of Foreclosure dated May 3, 2024 and Order granting Motion to Reschedule Foreclosure Sale entered this 12th day of June, 2024, in the above-styled cause, I will sell to the highest and best bidder for cash, at the Charlotte County Foreclosure Auction website at www. charlotte.realforeclose.com at 11:00am on July 29, 2024, the following described property: Lots 1 and 2, Block 15, Harbour Heights Section One (Revised), according to the plat thereof as recorded in Plat Book 3, Page 73A and 73B, of the Public Records of Charlotte County, Florida Parcel ID No: 402315407001

NOTICE OF FORECLOSURE SALE

PURSUANT TO CHAPTER 45 IN THE CIRCUIT COURT OF THE TWENTIETH JUDICIAL CIRCUIT IN AND FOR CHARLOTTE COUNTY, FLORIDA GENERAL JURISDICTION DIVISION CASE NO. 23002491CA

DEUTSCHE BANK NATIONAL TRUST COMPANY, AS TRUSTEE FOR NOVASTAR MORTGAGE FUNDING TRUST, SERIES 2007-1

NOVASTAR HOME EQUITY LOAN

ASSET-BACKED CERTIFICATES, SERIES 2007-1, Plaintiff, vs. KATHERINE E. BLANCO AND FREDRIC O. BLANCO, et al. Defendant(s).

NOTICE IS HEREBY GIVEN pursuant to a Final Judgment of Foreclosure dated May 30, 2024, and entered in 23002491CA of the Circuit Court of the TWENTIETH Judicial Circuit in and for Charlotte County, Florida, wherein

DEUTSCHE BANK NATIONAL TRUST COMPANY, AS TRUSTEE FOR NOVASTAR MORTGAGE FUNDING TRUST, SERIES 2007-1

NOVASTAR HOME EQUITY LOAN

ASSET-BACKED CERTIFICATES, SERIES 2007-1 is the Plaintiff and FREDRIC BLANCO; KATHERINE BLANCO are the Defendant(s).

ROGER D. EATON as the Clerk of the Circuit Court will sell to the highest and best bidder for cash at www.charlotte. realforeclose.com, at 11:00 AM, on July 22, 2024, the following described property as set forth in said Final Judgment, to wit: LOT 1, BLOCK 2279, PORT CHARLOTTE SUBDIVISION, SECTION 20, ACCORDING TO THE PLAT THEREOF

NOTICE OF SALE IN THE COUNTY COURT OF THE TWENTIETH JUDICIAL

CIRCUIT IN AND FOR CHARLOTTE COUNTY, FLORIDA

CASE NO.: 23-CC-1433 PRAIRIE CREEK PARK OWNER’S ASSOCIATION, INC., Plaintiff, vs. MATHEW W. FALTER, et al.

Defendant(s).

Notice is hereby given that pursuant to an Final Judgment of Foreclosure entered on June 4, 2024, in the above

Property Address: 2334 Dorsey Drive, Punta Gorda, FL 33983

Any person claiming an interest in the surplus from the sale, if any, other than the property owner as of the date of the lis pendens must file a claim within 60 days after the sale. If you are a person with a disability who needs any accommodation in order to participate in this proceeding, you are entitled, at no cost to you, to the provision of certain assistance. Please contact Jon Embury, Administrative Services Manager, whose office is located at 350 E. Marion Avenue, Punta Gorda, Florida 33950, and whose telephone number is (941) 637-2110, at least 7 days before your scheduled court appearance, or immediately upon receiving this notification if the time before the scheduled appearance is less than 7 days; if you are hearing or voice impaired, call 711.

Dated: 06/13/2024. ROGER D. EATON Clerk of Court By: (SEAL) B. Lackey Deputy Clerk Elias M. Mahshie, Esq. Mahshie & DeCosta, P.A. Counsel for Plaintiff 407 E. Marion Avenue, Suite 101 Punta Gorda, FL 33950 June 21, 28, 2024 24-00585T

RECORDED IN PLAT BOOK 5, PAGES 10A THRU 10F, INCLUSIVE, OF THE PUBLIC RECORDS OF CHARLOTTE COUNTY, FLORIDA. Property Address: 23102 MACLELLAN AVE, PORT CHARLOTTE, FL 33980

Any person claiming an interest in the surplus from the sale, if any, other than the property owner as of the date of the lis pendens must file a claim in accordance with Florida Statutes, Section 45.031. If you are a person with a disability who needs any accommodation in order to participate in this proceeding, you are entitled, at no cost to you, to the provision of certain assistance. Please contact Jon Embury, Administrative Services Manager, whose office is located at 350 E. Marion Avenue, Punta Gorda, Florida 33950, and whose telephone number is (941) 637-2110, at least 7 days before your scheduled court appearance, or immediately upon receiving this notification if the time before the scheduled appearance is less than 7 days; if you are hearing or voice impaired, call 711. Dated this day of 06/14/2024. ROGER D. EATON As Clerk of the Court By: (SEAL) B. Lackey As Deputy Clerk

Submitted by: Robertson, Anschutz, Schneid, Crane & Partners, PLLC Attorneys for Plaintiff 6409 Congress Avenue, Suite 100, Boca Raton, FL 33487 Telephone: 561-241-6901 Fax: 561-997-6909 23-116817 - MaM June 21, 28, 2024 24-00588T

styled cause, in the County Court of Charlotte County, Florida, Roger D. Eaton, Clerk of the Circuit Court will sell the property situated in Charlotte County, Florida legally described as: Lot 8, Block 5, Prairie Creek Park Subdivision, a subdivision according to the Plat thereof, as recorded in Plat Book 13, Pages 33-A through 33-S, of the Public Records of Charlotte County, Florida.

Property Address: 3500 Hidden Valley Circle, Punta Gorda, FL 33982

NOTICE OF SALE IN THE CIRCUIT COURT OF THE TWENTIETH

JUDICIAL CIRCUIT IN AND FOR CHARLOTTE COUNTY, FLORIDA CASE NO. 23001934CA

MIDFIRST BANK

Plaintiff, v. THE UNKNOWN HEIRS, GRANTEES, DEVISEES, LIENORS, TRUSTEES, AND CREDITORS OF CYNTHIA L. BENNETT, DECEASED; UNKNOWN TENANT 2; GREGORY ALLEN BENNETT, JR.; ANGELA LEIGH CORSIATTO; CHRISTLE ANN BENNETT; DUSTIN ALLEN BENNETT, JR.; ZACHARY DANIEL BENNETT; MICHAEL BENNETT, A MINOR; AMANDA BENNETT

KIRKENDALL, NATURAL GUARDIAN OF MICHAEL BENNETT, A MINOR; UNKNOWN TENANT 1; UNITED STATES OF AMERICA DEPARTMENT OF HOUSING AND URBAN DEVELOPMENT Defendants.

Notice is hereby given that, pursuant to the Final Judgment of Foreclosure entered on December 18, 2023, in this cause, in the Circuit Court of Charlotte County, Florida, the clerk shall sell the property situated in Charlotte County, Florida, described as: LOT 15, BLOCK 1768, PORT CHARLOTTE SUBDIVISION SECTION - FIFTY TWO, ACCORDING TO THE MAP OR PLAT THEREOF, AS RECORDED IN PLAT BOOK 5, PAGE 66A AND 66F, OF THE

NOTICE OF FORECLOSURE SALE

PURSUANT TO CHAPTER 45 IN THE CIRCUIT COURT OF THE TWENTIETH JUDICIAL CIRCUIT IN AND FOR CHARLOTTE COUNTY, FLORIDA GENERAL JURISDICTION DIVISION CASE NO. 23001575CA U.S. BANK NATIONAL ASSOCIATION, Plaintiff, vs. TYLER C. MADDEN, et al. Defendant(s). NOTICE IS HEREBY GIVEN pursuant to a Final Judgment of Foreclosure dated May 16, 2024, and entered in 23001575CA of the Circuit Court of the TWENTIETH Judicial Circuit in and for Charlotte County, Florida, wherein U.S. BANK NATIONAL ASSOCIATION is the Plaintiff and TYLER C. MADDEN; HALEY N. SAWIN; FLORIDA HOUSING FINANCE CORPORATION are the Defendant(s). ROGER D. EATON as the Clerk of the Circuit Court will sell to the highest and best bidder for cash at www.charlotte.realforeclose. com, at 11:00 AM, on July 15, 2024, the following described property as set forth in said Final Judgment, to wit: LOT 16, BLOCK 2823, PORT CHARLOTTE SECTION 45, ACCORDING TO THE PLAT THEREOF, AS RECORDED IN PLAT BOOK 5, PAGE(S) 56A THROUGH 56E, OF THE PUBLIC RECORDS OF CHARLOTTE COUNTY, FLORIDA.

at public sale on July 25, 2024, to the highest bidder for cash, except as prescribed in Paragraph 7, in the following location: In an online sale at www.charlotte. realforeclose.com, beginning at 11:00 a.m. on the prescribed date (mark this box for all sales in Charlotte County).

If you are a person with a disability who needs any accommodation in order to participate in this proceeding, you are entitled, at no cost to you, to the provision of certain assistance. Please contact Jon Embury, Administrative Services Manager, whose office is lo-

PUBLIC RECORDS OF CHARLOTTE COUNTY, FLORIDA. a/k/a 5364 CHARD TER, PORT CHARLOTTE, FL 33981-4963 at public sale, to the highest and best bidder, for cash, online at www. charlotte.realforeclose.com, on July 22, 2024 beginning at 11:00 AM. Any person claiming an interest in the surplus from the sale, if any, other than the property owner as of the date of the lis pendens must file a claim before the clerk reports the surplus as unclaimed.

If you are a person with a disability who needs any accommodation in order to participate in this proceeding, you are entitled, at no cost to you, to the provision of certain assistance. Please contact Jon Embury, Administrative Services Manager, whose office is located at 350 E. Marion Avenue, Punta Gorda, Florida 33950, and whose telephone number is (941) 637-2110, at least 7 days before your scheduled court appearance, or immediately upon receiving this notification if the time before the scheduled appearance is less than 7 days; if you are hearing or voice impaired, call 711.

Dated this day of 06/12/2024.

Roger D. Eaton Clerk of The Circuit Court By: (SEAL) M. Hoffman Deputy Clerk

eXL Legal, PLLC

12425 28TH ST NORTH, STE. 200 ST. PETERSBURG, FL 33716-1826

EFILING@EXLLEGAL.COM

1000008995

June 21, 28, 2024 24-00584T

Property Address: 21218 GLA-

DIS AVE, PORT CHARLOTTE, FL 33952

Any person claiming an interest in the surplus from the sale, if any, other than the property owner as of the date of the lis pendens must file a claim in accordance with Florida Statutes, Section 45.031. If you are a person with a disability who needs any accommodation in order to participate in this proceeding, you are entitled, at no cost to you, to the provision of certain assistance. Please contact Jon Embury, Administrative Services Manager, whose office is located at 350 E. Marion Avenue, Punta Gorda, Florida 33950, and whose telephone number is (941) 6372110, at least 7 days before your scheduled court appearance, or immediately upon receiving this notification if the time before the scheduled appearance is less than 7 days; if you are hearing or voice impaired, call 711. Dated this day of 06/14/2024.

ROGER D. EATON As Clerk of the Court By: (SEAL) B. Lackey As Deputy Clerk

Submitted by: Robertson, Anschutz, Schneid, Crane & Partners, PLLC Attorneys for Plaintiff 6409 Congress Avenue, Suite 100, Boca Raton, FL 33487

Telephone: 561-241-6901 Fax: 561-997-6909 23-107501 - MaM June 21, 28, 2024 24-00589T

cated at 350 E. Marion Avenue, Punta Gorda, Florida 33950, and whose telephone number is (941) 637-2110, at least 7 days before your scheduled court appearance, or immediately upon receiving this notification if the time before the scheduled appearance is less than 7 days; if you are hearing or voice impaired, call 711.

DATED this day of 06/17/2024. Clerk Circuit & County Courts (SEAL) By: Deni Gerace Clerk of Court June 21, 28, 2024 24-00590T

SUBSEQUENT INSERTIONS

SECOND INSERTION

NOTICE OF CIVIL ACTION IN THE CIRCUIT COURT OF THE TWENTIETH JUDICIAL CIRCUIT IN AND FOR CHARLOTTE COUNTY, FLORIDA CIVIL ACTION CASE NO: 23-CA-2710

EJITO ALTIDOR, LLC, and EM PROPERTIEZ CORPORATION, Plaintiff, v. MARIE ANGELA MAROTTA, WINDER VI, LLC, LUDEANA DERRINGER, HERBERT H. MILLER, ROBERT H. MILLER and CHARLOTTE COUNTY TAX COLLECTOR, Defendants. TO: HERBERT H. MILLER (address unknown) LUDEANA DERRINGER (address unknown) MARIE ANGELA MAROTTA 2809 Coast Line Court Las Vegas, Nevada 89117 COMES NOW, the Plaintiffs, EJITO ALTIDOR, LLC, and EM PROPERTIEZ CORPORATION, by and through their undersigned counsel, and hereby gives notice that a Quiet Title action on the following properties listed below has been instituted in the above action and is now pending in the Twentieth Judicial Circuit Court of the State of Florida, County of Charlotte, on July 14, 2023; Case No: 2023-CA-2710. LOTS 6, 7, 8, BLOCK 126, TROOPICAL GULF ACRES, UNIT 7, A SUBDIVISION ACCORDING TO THE PLAT THEREOF, AS RECORDED IN PLAT BOOK 3 AT PAGES 99A THROUGH 99I, OF THE PUBLIC RECORDS OF CHARLOTTE COUNTY, FLORIDA. Parcel No. 422302280022 28370 Calais Avenue, Punta Gorda, Florida 33955 /and/ Lot(s) 11, Block 215, Unit 10, of TROPICAL GULF ACRES, according to the PLAT thereof, as recorded in Plat Book 4, Page(s) 76A through 76N, in the Public Records of CHARLOTTE County, Florida. Parcel No. 422311156016 28101 Laurelwood Drive, Punta Gorda, Florida 33955 /and/ Lots, 55 and 56 Block 124, HRBR HTS SEC 6, Unit No. 9, accord-

ing to the Plat thereof recorded in Plat Book 4, Page 63A - 63F, of the Public Records of Charlotte County, Florida. Parcel: 0104877-000000-0 2170 Porpoise Drive, Punta Gorda, Florida 33983 You are required to serve an Answer to this action upon: ADAM J. STEVENS, ESQUIRE, of STEVENS LEGAL GROUP, Plaintiffs’ counsel, whose address is 4716 Chiquita Boulevard South PMB 308, Cape Coral, Florida 33914, on or before July 17, 2024, and file the original with the Clerk of this Honorable Court at Charlotte County Clerk of Court, 350 East Marion Avenue, Punta Gorda, Florida 33951, either before service on Plaintiffs’ counsel or immediately thereafter. You must keep the Clerk of the Circuit Court’s office notified of your current address. Future papers in this lawsuit will be mailed to the address on record at the Clerk’s office. If you are a person with a disability who needs any accommodation in order to participate in this proceeding, you are entitled, at no cost to you, to the provision of certain assistance. Please

THIRD INSERTION

NOTICE OF ACTION

I IN THE CIRCUIT COURT OF THE TWENTIENTH JUDICIAL CIRCUIT IN AND FOR CHARLOTTE COUNTY, FLORIDA CIVIL ACTION CASE 23003915CA MOLDAVITE HOLDINGS, LLC, a Florida limited liability company, Plaintiff, v. MARGARET E. HOFFMANN, SUCCESSOR TRUSTEE OF THE E.G. HOFFMANN CHARITABLE REMAINDER UNITRUST

DATED 1/6/98 a/k/a E.G. Hoffman Charitable Remainder Unitrust dated 1/6/98, UNKNOWN SUCCESSOR TRUSTEE, IF ANY, OF THE E.G. HOFFMANN CHARITABLE REMAINDER UNITRUST DATED 1/6/98 a/k/a E.G. Hoffman Charitable Remainder Unitrust dated 1/6/98, Defendants.

To: MARGARET E. HOFFMANN, SUCCESSOR TRUSTEE OF THE E.G. HOFFMANN CHARITABLE REMAINDER UNITRUST DATED 1/6/98 a/k/a E.G. Hoffman Charitable Remainder Unitrust dated 1/6/98, 21 Lincoln Ave. S. St. Petersburg, FL 33711 and UNKNOWN SUCCESSOR TRUSTEE, IF ANY, OF THE E.G. HOFFMANN CHARITABLE REMAINDER UNITRUST DATED 1/6/98 a/k/a E.G. Hoffman Charitable Remainder Unitrust dated 1/6/98, (Unknown Whereabouts) YOU ARE HEREBY NOTIFIED that an action for quiet title relating to the following property in Pasco County, Florida: The North half (1/2) of Lot 16, and all of Lots 17 and 18, Block 86, Harbour Heights, Section Four, Part One, according to the plat thereof as recorded in Plat

Book 3, Page 27, Public Records of Charlotte County, Florida, the street address of which is 3340 Highlands Road, Punta Gorda, Charlotte County, FL 33983, has been filed against you, and you are required to serve a copy of your written defenses, if any to it, on Plaintiff’s attorney, whose name is STARLETT M. MASSEY, of Massey Law Group, P.A., P.O. Box 262, St. Petersburg, FL 337310262, smassey@masseylawgrouppa. com, service@masseylawgrouppa.com, and file the original with the Clerk of the above-styled Court within thirty (30) days from the first publication, or you will be defaulted and a judgment may be entered against you for the relief demanded in the Amended Complaint. If you are a person with a disability who needs any accommodation in order to participate in this proceeding, you are entitled, at no cost to you, to the provision of certain assistance. Please contact Jon Embury, Administrative Services Manager, whose office is located at 350 E. Marion Avenue, Punta Gorda, Florida 33950, and whose telephone number is (941) 637-2110, at least 7 days before your scheduled court appearance, or immediately upon receiving this notification if the time before the scheduled appearance is less than 7 days; if you are hearing or voice impaired, call 711.

DATED: May 29, 2024. ROGER D. EATON Charlotte County Clerk of Circuit Court (SEAL) By: B. Lackey Deputy Clerk

STARLETT M. MASSEY, Massey Law Group, P.A., P.O. Box 262, St. Petersburg, FL 33731-0262, smassey@masseylawgrouppa.com, service@masseylawgrouppa.com June 7, 14, 21, 28, 2024 24-00551T

38 JUNE 21 - JUNE 27, 2024 BUSINESS OBSERVER MANATEE COUNTY 38 CHARLOTTE COUNTY
contact Jon Embury, Administrative Services Manager, whose office is located at 350 E. Marion Avenue, Punta Gorda, Florida 33950, and whose telephone number is (941) 6372110, at least 7 days before your scheduled court appearance, or immediately upon receiving this notification if the time before the scheduled appearance is less than (7) days; if you are hearing or voice impaired, call 711. Dated this 11 day of June, 2024. Roger D. Eaton Clerk of the Circuit Court By: B. Lackey (SEAL) Deputy Clerk Signed on June 6, 2024. Adam J. Stevens Adam J. Stevens, Esq. Florida Bar No. 31898 Stevens Legal Group 4706 Chiquita Boulevard S. PMB 308 Cape Coral, Florida 33914 Telephone: (239) 374-4353 Facsimile: (239) 374-4356 astevens@stevenslegalgroup.com nobolden@stevenslegalgroup.com fbenoit@stevenslegalgroup.com June 14, 21, 28; July 5, 2024 24-00577T
--- ACTIONS ---
FIRST INSERTION FIRST INSERTION FIRST INSERTION FIRST INSERTION FIRST INSERTION --- ACTIONS / SALES --LV10177 legal@businessobserverfl.com E-mail your Legal Notice SAVE TIME Call 941-906-9386 or email legal@businessobserverfl.com • We offer an online payment portal for easy credit card payment • Service includes us e-filing your affidavit to the Clerk’s office on your behalf We publish all Public sale, Estate & Court-related notices LEGAL NOTICE PUBLISH YOUR and select the appropriate County name from the menu option LV20878_V20

SECOND INSERTION

NOTICE TO CREDITORS

IN THE CIRCUIT COURT OF THE TWENTIETH JUDICIAL

CIRCUIT IN AND FOR CHARLOTTE COUNTY, FLORIDA

PROBATE DIVISION

File No 24 CP 624 IN RE: ESTATE OF JOHN MILES BRANDICH

Deceased.

The administration of the Estate of John Miles Brandich, deceased, File Number 24 CP 624, is pending in the Circuit Court for Charlotte County, Florida, Probate Division, the address of which is 350 E. Marion Avenue, Punta Gorda, FL 33950. The names and addresses of the petitioner and the petitioner’s attorney are set forth below. All creditors of the decedent and other persons having claims or demands against decedent’s estate, including unmatured, contingent or unliquidated claims, on whom a copy of this notice is served must file their claims with this court WITHIN THE LATER OF 3 MONTHS AFTER THE DATE OF THE FIRST PUBLICATION OF THIS NOTICE OR 30 DAYS AFTER THE DATE OF SERVICE OF A COPY OF THIS NOTICE ON THEM.

All other creditors of the decedent and other persons having claims or demands against decedent’s estate, including unmatured, contingent or unliquidated claims, must file their claims with this court WITHIN 3 MONTHS AFTER THE DATE OF THE FIRST PUBLICATION OF THIS NOTICE. ALL CLAIMS NOT SO FILED WILL BE FOREVER BARRED.

The date of first publication of this Notice is June 14, 2024.

Petitioner:

JoAnn Renz 1205 L Street. La Porte, IN 46350

Attorney for Petitioner:

Nathan Dougherty, Esquire

Florida Bar No. 118632

P.O. Box 380984 Murdock, FL 33938

Tel: (941) 270-4489

Email: contact@nathandoughertylaw.com

June 14, 21, 2024 24-00565T

SECOND INSERTION

NOTICE TO CREDITORS (Summary Administration) IN THE CIRCUIT COURT FOR CHARLOTTE COUNTY, FLORIDA

PROBATE DIVISION File No. 24-000617-CP Division: PROBATE IN RE: ESTATE OF PHILIP HENRY SHERIDAN, A/K/A PHILIP H. SHERIDAN, Deceased. TO ALL PERSONS HAVING CLAIMS OR DEMANDS AGAINST THE ABOVE ESTATE:

You are hereby notified that an Order of Summary Administration has been entered in the estate of Philip Henry Sheridan, a/k/a Philip H. Sheridan, deceased, File Number 24-000617-CP, by the Circuit Court for Charlotte County, Florida, Probate Division, the address of which is 350 E. Marion Avenue, Punta Gorda, FL 33950; that the decedent’s date of death was March 26, 2024; that the total value of the estate is $500.00 and that the names and addresses of those to whom it has been assigned by such order are:

Name Address Perry H. Sheridan 15550 Burnt Store Road, Lot #217 Punta Gorda, FL 33955 ALL INTERESTED PERSONS ARE NOTIFIED THAT: All creditors of the estate of the decedent and persons having claims or demands against the estate of the decedent other than those for whom provision for full payment was made in the Order of Summary Administration must file their claims with this court WITHIN THE TIME PERIODS SET FORTH IN FLORIDA STATUTES

SECTION 733.702. ALL CLAIMS AND DEMANDS NOT SO FILED WILL BE FOREVER BARRED. NOTWITHSTANDING ANY OTHER APPLICABLE TIME PERIOD, ANY CLAIM FILED TWO (2) YEARS OR MORE AFTER THE DECEDENT’S DATE OF DEATH IS BARRED.

The date of first publication of this Notice is June 14, 2024.

Person Giving Notice:

Perry H. Sheridan 15550 Burnt Store Road, Lot #217 Punta Gorda, FL 33955

/s/ Cheyenne R. Young

Attorney for Petitioner

Florida Bar Number: 0515299

WOTITZKY, WOTITZKY, ROSS & YOUNG, P.A.

1107 W. Marion Avenue, Unit #111 Punta Gorda, FL 33950

Telephone: (941) 639-2171

Fax: (941) 639-8617

E-Mail:

SECOND INSERTION NOTICE TO CREDITORS IN THE CIRCUIT COURT FOR CHARLOTTE COUNTY, FLORIDA. PROBATE DIVISION File No. 24000443CP IN RE: Estate of George John Pilat Deceased. The administration of the estate of GEORGE JOHN PILAT, deceased, whose date of death was October 2, 2023, is pending in the Circuit Court for Charlotte County, Florida, Probate Division, the address of which is 350 E. Marion Street, Punta Gorda, FL 33950. The names and addresses of the personal representative and the personal representative’s attorney are set forth below. All creditors of the decedent and other persons having claims or demands against decedent’s estate on whom a copy of this notice is required to be served must file their claims with this court ON OR BEFORE THE LATER OF 3 MONTHS AFTER THE TIME OF THE FIRST PUBLICATION OF THIS NOTICE OR 30 DAYS AFTER THE DATE OF SERVICE OF A COPY OF THIS NOTICE ON THEM. All other creditors of the decedent and other persons having claims or demands against decedent’s estate must file their claims with this court WITHIN 3 MONTHS AFTER THE DATE OF THE FIRST PUBLICATION OF THIS NOTICE.

ALL CLAIMS NOT FILED WITHIN THE TIME PERIODS SET FORTH IN FLORIDA STATUTES SECTION 733.702 WILL BE FOREVER BARRED.

NOTWITHSTANDING THE TIME PERIODS SET FORTH ABOVE, ANY CLAIM FILED TWO (2) YEARS OR MORE AFTER THE DECEDENT’S DATE OF DEATH IS BARRED.

The date of first publication of this notice is June 14, 2024

Personal Representative: Diane Marie Brown 3029 Stone St. Port Charlotte, FL 33981 Attorney for Personal Representative

Alfred J. Pandl, Florida Bar Number: 1022400 PANDL LAW PLLC 871 Venetia Bay Blvd., Suite 231 Venice, Florida 34285 Telephone: (941) 548-1071 E-Mail: APANDL@PANDLLAW.COM June 14, 21, 2024 24-00571T

SECOND INSERTION NOTICE TO CREDITORS IN THE CIRCUIT COURT FOR CHARLOTTE COUNTY, FLORIDA PROBATE DIVISION File No. 24000564CP Division Probate IN RE: ESTATE OF CHARLES L. HENSON Deceased. The administration of the estate of Charles L. Henson, deceased, whose date of death was August 4, 2022, is pending in the Circuit Court for Charlotte County, Florida, Probate Division, the address of which is 350 E. Marion Avenue, Punta Gorda, Florida 33950. The names and addresses of the personal representative and the personal representative’s attorney are set forth below.

All creditors of the decedent and other persons having claims or demands against decedent’s estate on whom a copy of this notice is required to be served must file their claims with this court ON OR BEFORE THE LATER OF 3 MONTHS AFTER THE TIME OF THE FIRST PUBLICATION OF THIS NOTICE OR 30 DAYS AFTER THE DATE OF SERVICE OF A COPY OF THIS NOTICE ON THEM.

All other creditors of the decedent and other persons having claims or demands against decedent’s estate must file their claims with this court WITHIN 3 MONTHS AFTER THE DATE OF THE FIRST PUBLICATION OF THIS NOTICE.

ALL CLAIMS NOT FILED WITHIN THE TIME PERIODS SET FORTH IN FLORIDA STATUTES SECTION 733.702 WILL BE FOREVER BARRED.

NOTWITHSTANDING THE TIME PERIODS SET FORTH ABOVE, ANY CLAIM FILED TWO (2) YEARS OR MORE AFTER THE DECEDENT’S DATE OF DEATH IS BARRED.

The date of first publication of this notice is June 14, 2024.

Personal Representative: Kim Hookstead f/k/a Kim Henson W6368 Hill Road Watertown, Wisconsin 53098

Attorney for Personal Representative: /s/ Jeffrey M. Backo Jeffrey M. Backo

Attorney Florida Bar Number: 0086426 MELLOR & BACKO LLP 13801 Tamiami Trail, Suite D North Port, Florida 34287 Telephone: (941) 426-1193

Fax: (941) 426-5413

E-Mail: jeff@northportlaw.com Secondary E-Mail: shelly@northportlaw.com June 14, 21, 2024 24-00564T

SECOND INSERTION NOTICE TO CREDITORS IN THE CIRCUIT COURT FOR CHARLOTTE COUNTY, FLORIDA PROBATE DIVISION File No. 2024 CP 457 IN RE: ESTATE OF ELIZABETH A. MUELLER Deceased.

The administration of the estate of Elizabeth A. Mueller, deceased, whose date of death was December 9, 2023, is pending in the Circuit Court for Charlotte County, Florida, Probate Division, the address of which is 350 E. Marion Avenue, Punta Gorda, FL 33950. The names and addresses of the personal representative and the personal representative’s attorney are set forth below. All creditors of the decedent and other persons having claims or demands against decedent’s estate, on whom a copy of this notice is required to be served, must file their claims with this court ON OR BEFORE THE LATER OF 3 MONTHS AFTER THE TIME OF THE FIRST PUBLICATION OF THIS NOTICE OR 30 DAYS AFTER THE DATE OF SERVICE OF A COPY OF THIS NOTICE ON THEM.

All other creditors of the decedent and other persons having claims or demands against decedent’s estate must file their claims with this court WITHIN 3 MONTHS AFTER THE DATE OF THE FIRST PUBLICATION OF THIS NOTICE.

ALL CLAIMS NOT FILED WITHIN THE TIME PERIODS SET FORTH IN FLORIDA STATUTES SECTION 733.702 WILL BE FOREVER BARRED. NOTWITHSTANDING THE TIME PERIOD SET FORTH ABOVE, ANY CLAIM FILED TWO (2) YEARS OR MORE AFTER THE DECEDENT’S DATE OF DEATH IS BARRED.

The date of first publication of this notice is: June 14, 2024. /s/ Kenneth W. Alderson Kenneth W. Alderson

Personal Representative 13518 Keating St. Rockville, MD 20853 /s/ Mary E. King

Mary E. King, Esq.

Attorney for Personal Representative Florida Bar No. 0987001

Law Office of Mary E. King, P.L. 3389 Magic Oak Lane Sarasota, FL 34232

Telephone: (941) 906-7585

Email: Tax@kinglawpl.com June 14, 21, 2024 24-00579T

SECOND INSERTION

NOTICE TO CREDITORS IN THE CIRCUIT COURT FOR CHARLOTTE COUNTY, FLORIDA PROBATE DIVISION File No. 2024-482-CP Division Probate IN RE: ESTATE OF LINDA KAY STEVENS

A/K/A LINDA K. STEVENS Deceased.

The administration of the estate of Linda Kay Stevens a/k/a Linda K. Stevens, deceased, whose date of death was February 14, 2024, is pending in the Circuit Court for Charlotte County, Florida, Probate Division, the address of which is 350 E. Marion Avenue, Punta Gorda, FL 33950. The names and addresses of the personal representative and the personal representative’s attorney are set forth below.

All creditors of the decedent and other persons having claims or demands against decedent’s estate on whom a copy of this notice is required to be served must file their claims with this court ON OR BEFORE THE LATER OF 3 MONTHS AFTER THE TIME OF THE FIRST PUBLICATION OF THIS NOTICE OR 30 DAYS AFTER THE DATE OF SERVICE OF A COPY OF THIS NOTICE ON THEM.

All other creditors of the decedent and other persons having claims or demands against decedent’s estate must file their claims with this court WITHIN 3 MONTHS AFTER THE DATE OF THE FIRST PUBLICATION OF THIS NOTICE.

ALL CLAIMS NOT FILED WITHIN THE TIME PERIODS SET FORTH IN FLORIDA STATUTES SECTION 733.702 WILL BE FOREVER BARRED. NOTWITHSTANDING THE TIME PERIODS SET FORTH ABOVE, ANY CLAIM FILED TWO (2) YEARS OR MORE AFTER THE DECEDENT’S DATE OF DEATH IS BARRED.

The date of first publication of this notice is June 14, 2024.

Personal Representative: Craig A. Stevens 19502 Colvic Drive Noblesville, Indiana 46060

Attorney for Personal Representative: Nicole S. Peet

Attorney Florida Bar Number: 1025612

Farr Law Firm, P.A.

237 Nokomis Avenue South Venice, FL 34285

Telephone: (941) 488-7751

Fax: (941) 497-3696

E-Mail: npeet@farr.com

Secondary E-Mail: tweiss@farr.com and probate@farr.com June 14, 21, 2024 24-00557T

SECOND INSERTION

NOTICE TO CREDITORS IN THE CIRCUIT COURT FOR CHARLOTTE COUNTY, FLORIDA PROBATE DIVISION File No. 24000014CP IN RE: ESTATE OF JACOB PATRICK HALUNEN, Deceased. The administration of the estate of JACOB PATRICK HALUNEN, deceased, whose date of death was November 23, 2023, is pending in the Circuit Court for Charlotte County, Florida, Probate Division, the address of which is 350 E. Marion Avenue, Punta Gorda, FL 33950. The names and addresses of the personal representative and the personal representative’s attorney are set forth below.

All creditors of the decedent and other persons having claims or demands against decedent’s estate, on whom a copy of this notice is required to be served, must file their claims with this court ON OR BEFORE THE LATER OF 3 MONTHS AFTER THE TIME OF THE FIRST PUBLICATION OF THIS NOTICE OR 30 DAYS AFTER THE DATE OF SERVICE OF A COPY OF THIS NOTICE ON THEM.

All other creditors of the decedent and other persons having claims or demands against decedent’s estate must file their claims with this court WITHIN 3 MONTHS AFTER THE DATE OF THE FIRST PUBLICATION OF THIS NOTICE.

ALL CLAIMS NOT FILED WITHIN THE TIME PERIODS SET FORTH IN FLORIDA STATUTES SECTION 733.702 WILL BE FOREVER BARRED.

NOTWITHSTANDING THE TIME PERIOD SET FORTH ABOVE, ANY CLAIM FILED TWO (2) YEARS OR MORE AFTER THE DECEDENT’S DATE OF DEATH IS BARRED.

The date of first publication of this notice is: June 14, 2024.

YVONNE HALUNEN

Personal Representative 201 Via Deluna Englewood, FL 34224

Robert D. Hines, Esq.

Attorney for Personal Representative Florida Bar No. 0413550

Hines Norman Hines, P.L. 1312 W. Fletcher Avenue, Suite B Tampa, FL 33612

Telephone: 813-265-0100

Email: rhines@hnh-law.com

Secondary Email: jrivera@hnh-law.com June 14, 21, 2024 24-00559T

SECOND INSERTION NOTICE TO CREDITORS IN THE CIRCUIT COURT OF THE 20TH JUDICIAL CIRCUIT IN AND FOR CHARLOTTE COUNTY, FLORIDA PROBATE DIVISION File No. 24000484CP IN RE: ESTATE OF MARY ELIZABETH WASHBURN, Deceased.

The administration of the estate of MARY ELIZABETH WASHBURN, Deceased, whose date of death was March 17, 2024, is pending in the Circuit Court for CHARLOTTE County, Florida, Probate Division, the address of which is Mac V. Horton West County Annex. 6868 San Casa Blvd. Englewood, Fl. 34224. The names and addresses of the personal representative and the personal representative’s attorney are set forth below.

All creditors of the decedent and other persons having claims or demands against decedent’s estate on whom a copy of this notice is required to be served must file their claims with this court WITHIN THE LATER OF 3 MONTHS AFTER THE TIME OF THE FIRST PUBLICATION OF THIS NOTICE OR 30 DAYS AFTER THE DATE OF SERVICE OF A COPY OF THIS NOTICE ON THEM.

All other creditors of the decedent and other persons having claims or demands against decedent’s estate must file their claims with this court WITHIN 3 MONTHS AFTER THE DATE OF THE FIRST PUBLICATION OF THIS NOTICE.

ALL CLAIMS NOT FILED WITHIN THE TIME PERIODS SET FORTH IN SECTION 733.702 OF THE FLORIDA PROBATE CODE WILL BE FOREVER BARRED.

NOTWITHSTANDING THE TIME PERIODS SET FORTH ABOVE, ANY CLAIM FILED TWO (2) YEARS OR MORE AFTER THE DECEDENT’S DATE OF DEATH IS BARRED.

The date of first publication of this notice is June 14, 2024. JANE WASHBURN, Personal Representative

Attorney for Personal Representative: Scott R. Bugay, Esquire

Florida Bar No. 5207

Citicentre, Suite P600

290 NW 165 Street

Miami FL 33169

Telephone: (305) 956-9040

Fax: (305) 945-2905

Primary Email: Scott@srblawyers.com

SECOND INSERTION NOTICE TO CREDITORS IN THE CIRCUIT COURT FOR CHARLOTTE COUNTY, FLORIDA PROBATE DIVISION File No. 24000455CP Division Probate IN RE: ESTATE OF JOHN C. MAZZA Deceased. The administration of the estate of JOHN C. MAZZA, deceased, whose date of death was April 26, 2023, is pending in the Circuit Court for Charlotte County, Florida, Probate Division, the address of which is 350 E. Marion Avenue, Punta Gorda, FL 33950. The names and addresses of the personal representative and the personal representative’s attorney are set forth below. All creditors of the decedent and other persons having claims or demands against decedent’s estate on whom a copy of this notice is required to be served must file their claims with this court ON OR BEFORE THE LATER OF 3 MONTHS AFTER THE TIME OF THE FIRST PUBLICATION OF THIS NOTICE OR 30 DAYS AFTER THE DATE OF SERVICE OF A COPY OF THIS NOTICE ON THEM. All other creditors of the decedent and other persons having claims or demands against decedent’s estate must file their claims with this court WITHIN 3 MONTHS AFTER THE DATE OF THE FIRST PUBLICATION OF THIS NOTICE.

ALL CLAIMS NOT FILED WITHIN THE TIME PERIODS SET FORTH IN FLORIDA STATUTES SECTION 733.702 WILL BE FOREVER BARRED.

NOTWITHSTANDING THE TIME PERIODS SET FORTH ABOVE, ANY CLAIM FILED TWO (2) YEARS OR MORE AFTER THE DECEDENT’S DATE OF DEATH IS BARRED.

The date of first publication of this notice is June 14, 2024.

Personal Representative: BROOKE MAZZA 5035 32nd Ave. N. St. Petersburg, Florida 33710

Attorney for Personal Representative: ANTHONY G. MOWRY

Attorney Florida Bar Number: 107374 227 Pensacola Rd. Venice, FL 34285

Telephone: (941) 480-0333

Fax: (941) 486-4106

E-Mail: tony@mowrylawoffice.com

Secondary E-Mail: jen@mowrylawoffice.com June 14, 21, 2024 24-00558T

SECOND INSERTION NOTICE TO CREDITORS IN THE CIRCUIT COURT FOR CHARLOTTE COUNTY, FLORIDA PROBATE DIVISION File No. 24-000619-CP Division Probate IN RE: ESTATE OF DAVID WILLIAM BESSIRE a/k/a DAVID W. BESSIRE Deceased.

The administration of the estate of David William Bessire a/k/a David W. Bessire, deceased, whose date of death was April 5, 2024, is pending in the Circuit Court for Charlotte County, Florida, Probate Division, the address of which is 350 E. Marion Avenue, Punta Gorda, FL 33950. The names and addresses of the personal representative and the personal representative’s attorney are set forth below.

All creditors of the decedent and other persons having claims or demands against decedent’s estate on whom a copy of this notice is required to be served must file their claims with this court ON OR BEFORE THE LATER OF 3 MONTHS AFTER THE TIME OF THE FIRST PUBLICATION OF THIS NOTICE OR 30 DAYS AFTER THE DATE OF SERVICE OF A COPY OF THIS NOTICE ON THEM.

All other creditors of the decedent and other persons having claims or demands against decedent’s estate must file their claims with this court WITHIN 3 MONTHS AFTER THE DATE OF THE FIRST PUBLICATION OF THIS NOTICE.

ALL CLAIMS NOT FILED WITHIN THE TIME PERIODS SET FORTH IN FLORIDA STATUTES SECTION 733.702 WILL BE FOREVER BARRED.

NOTWITHSTANDING THE TIME PERIODS SET FORTH ABOVE, ANY CLAIM FILED TWO (2) YEARS OR MORE AFTER THE DECEDENT’S DATE OF DEATH IS BARRED.

The date of first publication of this notice is June 14, 2024.

Personal Representative: Laura Bessire Kidd 6790 Kilimanjaro Drive Evergreen, Colorado 80439

Attorney for Personal Representative: Brett H. Sifrit, Esq.

Attorney for Personal Representative

Florida Bar Number: 105564

Farr Law Firm P.A.

99 Nesbit Street

Punta Gorda, FL 33950

Telephone: (941) 639-1158

Fax: (941) 639-0028

SECOND INSERTION NOTICE TO CREDITORS IN THE CIRCUIT COURT FOR CHARLOTTE COUNTY, FLORIDA PROBATE DIVISION File No. 24-000608-CP Division: PROBATE IN RE: ESTATE OF FRANK VUKOV Deceased. The administration of the estate of FRANK VUKOV, deceased, whose date of death was March 26, 2024, is pending in the Circuit Court for CHARLOTTE County, Florida, Probate Division, the address of which is 350 E. Marion Avenue, Punta Gorda, Florida 33950. The names and addresses of the personal representative and the personal representative’s attorney are set forth below.

All creditors of the decedent and other persons having claims or demands against decedent’s estate on whom a copy of this notice is required to be served must file their claims with this court ON OR BEFORE THE LATER OF 3 MONTHS AFTER THE TIME OF THE FIRST PUBLICATION OF THIS NOTICE OR 30 DAYS AFTER THE DATE OF SERVICE OF A COPY OF THIS NOTICE ON THEM. All other creditors of the decedent and other persons having claims or demands against decedent’s estate must file their claims with this court WITHIN 3 MONTHS AFTER THE DATE OF THE FIRST PUBLICATION OF THIS NOTICE.

ALL CLAIMS NOT FILED WITHIN THE TIME PERIODS SET FORTH IN FLORIDA STATUTES SECTION 733.702 WILL BE FOREVER BARRED.

NOTWITHSTANDING THE TIME PERIODS SET FORTH ABOVE, ANY CLAIM FILED TWO (2) YEARS OR MORE AFTER THE DECEDENT’S DATE OF DEATH IS BARRED. The date of first publication of this notice is June 14, 2024.

Personal Representative: Gaspar W. Vukov 710 Phyllis Street Port Charlotte, Florida 33948

Attorney for Personal Representative: Ellie K. Harris

Attorney Florida Bar Number: 0021671 Schwarz & Harris, P.A. 17841 Murdock Circle Port Charlotte, Florida 33948

Telephone: (941) 625-4158

Fax: (941) 625-5460

E-Mail: ellie@schwarzlaw.net Secondary E-Mail: joy@schwarzlaw.net June 14, 21, 2024 24-00581T

SECOND INSERTION NOTICE TO CREDITORS IN THE CIRCUIT COURT OF THE TWENTIETH JUDICIAL CIRCUIT IN AND FOR CHARLOTTE COUNTY, FLORIDA PROBATE DIVISION Judge: McFee, Shannon H FILE NO.: 082024CP000611000101 IN RE: ESTATE OF Huettner, Raimund A, Deceased The administration of the estate of Raimund A. Huettner, deceased, whose date of death was July 9th, 2023, is pending in the Circuit Court for Charlotte County, Florida, Probate Division, the address of which is Court Administration 350 E. Marion Avenue Punta Gorda, FL 33950. The names and addresses of the personal representative and the personal representative’s attorney are set forth below. All creditors of the decedent and other persons having claims or demands against decedent’s estate, on whom a copy of this notice is required to be served, must file their claims with this court ON OR BEFORE THE LATER OF 3 MONTHS AFTER THE TIME OF THE FIRST PUBLICATION OF THIS NOTICE OR 30 DAYS AFTER THE DATE OF SERVICE OF A COPY OF THIS NOTICE ON THEM. All other creditors of the decedent and other persons having claims or demands against decedent’s estate must file their claims with this court WITHIN 3 MONTHS AFTER THE DATE OF THE FIRST PUBLICATION OF THIS NOTICE. ALL CLAIMS NOT FILED WITHIN THE TIME PERIODS SET FORTH IN SECTION 733.702 OF THE FLORIDA PROBATE CODE WILL BE FOREVER BARRED. NOTWITHSTANDING THE TIME PERIOD SET FORTH ABOVE, ANY CLAIM FILED TWO (2) YEARS OR MORE AFTER THE DECEDENT’S DATE OF DEATH IS BARRED. The

Secondary Email: angelica@srblawyers.com June 14, 21, 2024 24-00566T

E-Mail: bsifrit@farr.com

Secondary E-Mail: probate@farr.com June 14, 21, 2024 24-00563T

39 BusinessObserverFL.com CHARLOTTE COUNTY JUNE 21 - JUNE 27, 2024
date
is: June 14, 2024. Signed on May 6th, 2024. Karen Yvette Huettner Petitioner, daughter of the decedent 434 Tuolumne Ave #201 D, Thousand Oaks, CA 91360 /s/ Cynthia J. Arevalo Cynthia J. Arevalo, Esq Attorney for Petitioner Florida Bar No. 498521 4000 Hollywood Blvd, Ste 265 South Tower Hollywood, FL 33021 Telephone: (954) 367-2327 Email: info@Arevalolaw.com June 14, 21, 2024 24-00570T
of first publication of this notice
--- ESTATE ---
cyoung@wotitzkylaw.com Secondary E-Mail: jackie@wotitzkylaw.com June 14, 21, 2024 24-00580T

NOTICE OF ACTION IN THE CIRCUIT COURT OF THE TWENTIETH JUDICIAL CIRCUIT, IN AND FOR CHARLOTTE COUNTY, FLORIDA CASE NO: 23-CA-002896 HALLMARK HOME MORTGAGE, LLC, Plaintiff, -vsPAULA A WHITE AND BRENTLY A MCDERMAND, Defendant(s)

TO: UNKNOWN SPOUSE OF PAULA A WHITE A/K/A PAULA ANN WHITE, and PAULA A WHITE, Last Known Address: 15144 Faulkner Avenue, Port Charlotte, FL 33953

You are notified of an action to foreclose a mortgage on the following property in Charlotte County: Lot 1, Block 2606, Port Charlotte Subdivision Section Twenty Nine, according to the Plat thereof, recorded in Plat Book 5, Page(s) 22-A, of the Public Records of Charlotte County, Florida. 15144 Faulkner Avenue, Port Charlotte, FL 33953 The action was instituted in the Circuit Court, Twentieth Judicial Circuit in and for Charlotte County, Florida; Case No. 23-CA-002896; and is styled Hallmark Home Mortgage, LLC vs. UNKNOWN

SPOUSE OF BRENTLY A MCDERMAND A/K/A BRENTLY ANNE MARIE MCDERMAND, UNKNOWN

SPOUSE OF PAULA A WHITE A/K/A PAULA ANN WHITE, Paula A White and Brently A Mcdermand. You are

NOTICE OF ACTION IN THE CIRCUIT COURT OF THE TWENTIETH JUDICIAL CIRCUIT OF FLORIDA IN AND FOR CHARLOTTE COUNTY GENERAL JURISDICTION DIVISION CASE NO. 24000148CA TRUIST BANK, FORMERLY KNOWN AS BRANCH BANKING AND TRUST COMPANY, Plaintiff, vs. CLARENCE AUSTIN, et al., Defendant.

To the following Defendant(s): ANY AND ALL UNKNOWN PARTIES CLAIMING BY, THROUGH, UNDER, AND AGAINST ESTATE OF GERTRUDE E. AUSTIN A/K/A GERTRUDE AUSTIN A/K/A GERTRUDE

ELIZABETH AUSTIN, WHETHER SAID UNKNOWN PARTIES MAY CLAIM AN INTEREST AS SPOUSES, HEIRS, DEVISEES, GRANTES OR OTHER CLAIMANTS

ADDRESS: UNKNOWN YOU ARE NOTIFIED that an action for Foreclosure of Mortgage on the following described property: LOT 15, BLOCK 1647, PORT CHARLOTTE SUBDIVISION SECTION TWELVE, A SUBDIVISION ACCORDING TO THE PLAT THEREOF RECORDED IN PLAT BOOK 5, PAGES 1A THROUGH 1D, IN THE PUBLIC RECORDS OF CHARLOTTE COUNTY, FLORIDA. has been filed against you and you are required to serve a copy of you written defenses, if any, to it, on McCalla

NOTICE OF SALE PURSUANT TO CHAPTER 45 IN THE CIRCUIT COURT OF THE TWENTIETH JUDICIAL CIRCUIT IN AND FOR CHARLOTTE COUNTY, FLORIDA CIVIL ACTION CASE NO.: 23003830CA FINANCE OF AMERICA REVERSE LLC, Plaintiff, vs. THE UNKNOWN HEIRS, DEVISEES, GRANTEES, ASSIGNEES, LIENORS, CREDITORS, TRUSTEES OR OTHER CLAIMANTS CLAIMING BY, THROUGH, UNDER, OR AGAINST BARBARA GURNEY, DECEASED, et al, Defendant(s). NOTICE IS HEREBY GIVEN Pursuant to a Final Judgment of Foreclosure dated May 30, 2024, and entered in Case No. 23003830CA of the Circuit Court of the Twentieth Judicial Circuit in and for Charlotte County, Florida in which Finance of America Reverse LLC, is the Plaintiff and , The Unknown Heirs, Devisees, Grantees, Assignees, Lienors, Creditors, Trustees or other claimants claiming by, though, under, or against Barbara Gurney, deceased, United States of America Acting through Federal Housing Commissioner, Angi Roofing LLC DBA Total Home Roofing, LLC, Florida Window & Door, USA Construction Inc, Rotonda West Association, Inc., F/K/A Rotonda West Waterway Maintenance Association, Inc, Fred W. Hutchings, Christine Nims Morgan aka Christine Morgan, Bethany Dorian, are defendants, the Charlotte County Clerk of the Circuit Court will sell to the highest and best bidder for cash in/on online at www.charlotte. realforeclose.com, Charlotte County, Florida at 11:00 AM on the 22nd day of July, 2024, the following described property as set forth in said Final

required to serve a copy of your written defenses, if any, to the action on Ian Hudson, Esq., Plaintiff’s attorney, whose address is 255 South Orange Ave, Suite 900, Orlando, FL 32801, on or before 7/17/2024, (or 30 days from the first date of publication) and file the original with the clerk of this court either before service on Plaintiff’s attorney or immediately after service; otherwise, a default will be entered against you for the relief demanded in the complaint or petition.

The Court has authority in this suit to enter a judgment or decree in the Plaintiff’s interest which will be binding upon you. If you are a person with a disability who needs any accommodation in order to participate in this proceeding, you are entitled, at no cost to you, to the provision of certain assistance.

Please contact Jon Embury, Administrative Services Manager, whose office is located at 350 E. Marion Avenue, Punta Gorda, Florida 33950, and whose telephone number is (941) 637-2110, at least 7 days before your scheduled court appearance, or immediately upon receiving this notification if the time before the scheduled appearance is less than 7 days; if you are hearing or voice impaired, call 711.

DATED: 6/11/2024 Charlotte Clerk of the Circuit Court As Clerk of Court (SEAL) By: B. Lackey As Deputy Clerk June 14, 21, 2024 24-00576T

Raymer Leibert Pierce, LLC, Morgan B Lea, Attorney for Plaintiff, whose address is 225 East Robinson Street, Suite 155, Orlando, FL 32801 on or before July 17, 2024, a date which is within thirty (30) days after the first publication of this Notice in and file the original with the Clerk of this Court either before service on Plaintiff’s attorney or immediately thereafter; otherwise a default will be entered against you for the relief demanded in the complaint. If you are a person with a disability who needs any accommodation in order to participate in this proceeding, you are entitled, at no cost to you, to the provision of certain assistance. Please contact Jon Embury, Administrative Services Manager, whose office is located at 350 E. Marion Avenue, Punta Gorda, Florida 33950, and whose telephone number is (941) 6372110, at least 7 days before your scheduled court appearance, or immediately upon receiving this notification if the time before the scheduled appearance is less than 7 days; if you are hearing or voice impaired, call 711. WITNESS my hand and seal of this Court this 11th day of June, 2024. Clerk of the Court By B. Lackey (SEAL) As Deputy Clerk

Submitted by: MCCALLA RAYMER LEIBERT PIERCE, LLC

225 East Robinson Street, Suite 155, Orlando, FL 32801 23-08780FL Phone: (407) 674-1850 June 14, 21, 2024 24-00574T

Judgment of Foreclosure: LOT 597, OAKLAND HILLS SECTION OF ROTONDA WEST, AS PER PLAT THEREOF AS RECORDED IN PLAT BOOK 8, PAGES 15A THRU 15K, OF THE PUBLIC RECORDS OF CHARLOTTE COUNTY, FLORIDA. A/K/A 180 CADDY ROAD ROTONDA WEST FL 33947

Any person claiming an interest in the surplus from the sale, if any, other than the property owner as of the date of the Lis Pendens must file a claim before the Clerk reports the surplus as unclaimed. If you are a person with a disability who needs any accommodation in order to participate in this proceeding, you are entitled, at no cost to you, to the provision of certain assistance. Please contact Jon Embury, Administrative Services Manager, whose office is located at 350 E. Marion Avenue, Punta Gorda, Florida 33950, and whose telephone number is (941) 637-2110, at least 7 days before your scheduled court appearance, or immediately upon receiving this notification if the time before the scheduled appearance is less than 7 days; if you are hearing or voice impaired, call 711. Dated in Charlotte County, Florida this day of 06/10/2024. Clerk of the Circuit Court Charlotte County, Florida By: (SEAL) D. Gerace Deputy Clerk ALBERTELLI LAW P. O. Box 23028 Tampa, FL 33623

Tel: (813) 221-4743

Fax: (813) 221-9171

eService: servealaw@albertellilaw.com By: /s/ Charline Calhoun Florida Bar #16141 LR-23-007514 June 14, 21, 2024 24-00572T

NOTICE OF ACTION IN THE CIRCUIT COURT OF THE TWENTIETH JUDICIAL CIRCUIT IN AND FOR CHARLOTTE COUNTY, FLORIDA CASE NO.: 2024-CA-000798 LAKEVIEW LOAN SERVICING, LLC, Plaintiff, v. ELIZABETH MORGAN HEGEDUS, et al., Defendants.

TO: Jacob John Hegedus 6294 Thorman Road Port Charlotte FL 33981

YOU ARE HEREBY NOTIFIED that an action to foreclose a mortgage on the following described property in Charlotte County, Florida: Lot 10, Block 5095, PORT CHARLOTTE SUBDIVISION SECTION NINETY FIVE, according to the map or plat thereof, recorded in Plat Book 10, Page 1A, of the Public Records of Charlotte County, Florida. has been filed against you and you are required to serve a copy of your written defenses, if any, on Anthony R. Smith, Esquire, the Plaintiff’s attorney, whose address is Tiffany & Bosco, P.A., 1201 S. Orlando Ave, Suite 430, Winter Park, FL 32789, on or before thirty (30) days from the date of first publication of this Notice, and file the original with the Clerk of this Court either before service

RE NOTICE OF FORECLOSURE SALE IN THE CIRCUIT COURT OF THE 20TH WDICIAL CIRCUIRT, IN AND FOR CHARLOTTE COUNTY, FLORIDA CIVIL DIVISION: CASE NO.: 22001157CA RESIDENTIAL INVESTMENT TRUST IV, Plaintiff, vs. N & J DREAMS, LLC, a Nevada Limited Liability Company; FELICIA ACOSTA; BLUE INTERNATIONAL GROUP, LLC; UNKNOWN TENANT #1; UNKNOWN TENANT #2, Defendants. NOTICE IS HEREBY GIVEN pursuant to Final Judgment of Foreclosure dated the 30th day of January 2024 and entered in Case No. 22001157CA of the Circuit Court of the 20TH Judicial Circuit in and for Charlotte County, Florida, wherein RESIDENTIAL INVESTMENT TRUST IV is the Plaintiff and N & J DREAMS, LLC, a Nevada Limited Liability Company; FELICIA ACOSTA; BLUE INTERNATIONAL GROUP, LLC; COVID RELIEF ASSISTANCE, LLC; UNKNOWN TENANT #1; UNKNOWN TENANT #2, are defendants. The Clerk of this Court shall sell to the highest and best bidder for cash electronically at www.charlotte. realforeclose.com in accordance with Chapter 45, Florida Statutes at, 11:00 AM on the 22nd day of July 2024, the following described property as set forth in said Final Judgment, to wit: LOT 14, BLOCK 2108, PORT CHARLOTTE SUBDIVISION SECTION TWENTY-FIVE, A SUBDIVISION, ACCORDING TO THE PLAT THEREOF AS

RE-NOTICE OF FORECLOSURE SALE IN THE CIRCUIT COURT OF THE TWENTIETH JUDICIAL CIRCUIT, IN AND FOR CHARLOTTE COUNTY, FLORIDA CIVIL DIVISION CASE NO.: 22000329CA FREEDOM MORTGAGE CORPORATION PLAINTIFF, VS. UNKNOWN HEIRS, BENEFICIARIES, DEVISEES, ASSIGNEES, LIENORS, CREDITORS, TRUSTEES AND ALL OTHERS WHO MAY CLAIM AN INTEREST IN THE ESTATE OF ARACELIS SERRANO RIVERA A/K/A ARACELIS MONTALVO, ET AL., DEFENDANTS. NOTICE IS HEREBY GIVEN pursuant to Agreed Order on Plaintiff’s Motion to Reset Foreclosure Sale Date dated the 4th day of June, 2024, and entered in Case No. 22000329CA, of the Circuit Court of the Twentieth Judicial Circuit in and for Charlotte County, Florida, wherein Freedom Mortgage Corporation is the Plaintiff and FRANK RODRIQUEZ; ELIZABETH MONGE; DANIEL DELTORO and UNKNOWN HEIRS, BENEFICIARIES, DEVISEES, ASSIGNEES, LIENORS, CREDITORS, TRUSTEES AND ALL OTHERS WHO MAY CLAIM AN INTEREST IN THE ESTATE OF ARACELIS SERRANO RIVERA A/K/A ARACELIS MONTALVO; are defendants. Roger D. Eaton as the Clerk of the Circuit Court shall sell to the highest and best bidder for cash electronically at www.charlotte. realforeclose.com at 11:00 A.M. on the 5th day of August, 2024, the following described property as set forth in said Final Judgment, to wit: LOT 29, BLOCK 1439, PORT CHARLOTTE SUBDIVISION, SECTION TWENTY-SEVEN, ACCORDING TO THE MAP OR PLAT THEREOF, AS RECORDED IN PLAT BOOK 5,

on the Plaintiff’s attorney or imme-

diately thereafter; or a default will be entered against you for the relief demanded in the complaint.

If you are a person with a disability who needs any accommodation in order to participate in this proceeding, you are entitled, at no cost to you, to the provision of certain assistance. Please contact Jon Embury, Administrative Services Manager, whose office is located at 350 E. Marion Avenue, Punta Gorda, Florida 33950, and whose telephone number is (941) 6372110, at least 7 days before your scheduled court appearance, or immediately upon receiving this notification if the time before the scheduled appearance is less than (7) days; if you are hearing or voice impaired, call 711. IN WITNESS WHEREOF, I have hereunto set my hand and affixed the official seal of said Court at Charlotte County, Florida, this 11th day of June, 2024.

Roger D. Eaton as Clerk of the Circuit Court of Charlotte County, Florida By: (SEAL) B. Lackey DEPUTY CLERK

Anthony R. Smith, Esquire, the Plaintiff’s attorney, Tiffany & Bosco, P.A., 1201 S. Orlando Ave, Suite 430, Winter Park, FL 32789 June 14, 21, 2024 24-00575T

RECORDED IN PLAT BOOK 5, PAGE(S) 18A THROUGH 18C, INCLUSIVE OF THE PUBLIC RECORDS OF CHARLOTTE COUNTY, FLORIDA. Property Address: 854 CONREID DRIVE NORTHEAST, PORT CHARLOTTE, FL 33952 ANY PERSON CLAIMING AN INTEREST IN THE SURPLUS FROM THE SALE, IF ANY, OTHER THAN THE PROPERTY OWNER AS OF THE DATE OF THE LIS PENDENS MUST FILE A CLAIM WITH THE CLERK BEFORE THE CLERK REPORTS THE SURPLUS AS UNCLAIMED. If you are a person with a disability who needs any accommodation in order to participate in this proceeding, you are entitled, at no cost to you, to the provision of certain assistance. Please contact Jon Embury, Administrative Services Manager, whose office is located at 350 E. Marion Avenue, Punta Gorda, Florida 33950, and whose telephone number is (941) 6372110, at least 7 days before your scheduled court appearance, or immediately upon receiving this notification if the time before the scheduled appearance is less than 7 days; if you are hearing or voice impaired, call 711. Dated this day of 06/06/2024.

Roger D. Eaton Clerk of The Circuit Court By: (SEAL) B. Lackey Deputy Clerk DELUCA LAW GROUP, PLLC. Attorney for the Plaintiff 2101 NE 26th Street Fort Lauderdale, FL 33305 Telephone (954) 368-1311 | Fax: (954) 200-8649 service@delucalawgroup.com 22-05044

June 14, 21, 2024 24-00567T

PAGE(S) 20A THROUGH 20F, OF THE PUBLIC RECORDS OF CHARLOTTE COUNTY, FLORIDA. IF YOU ARE A PERSON CLAIMING A RIGHT TO FUNDS REMAINING AFTER THE SALE, YOU MUST FILE A CLAIM WITH THE CLERK NO LATER THAN THE DATE THAT THE CLERK REPORTS THE FUNDS AS UNCLAIMED. IF YOU FAIL TO FILE A CLAIM, YOU WILL NOT BE ENTITLED TO ANY REMAINING FUNDS. AFTER THE FUNDS ARE REPORTED AS UNCLAIMED, ONLY THE OWNER OF RECORD AS OF THE DATE OF THE LIS PENDENS MAY CLAIM THE SURPLUS.

If you are a person with a disability who needs any accommodation in order to participate in this proceeding, you are entitled, at no cost to you, to the provision of certain assistance. Please contact Jon Embury, Administrative Services Manager, whose office is located at 350 E. Marion Avenue, Punta Gorda, Florida 33950, and whose telephone number is (941) 637-2110, at least 7 days before your scheduled court appearance, or immediately upon receiving this notification if the time before the scheduled appearance is less than 7 days; if you are hearing or voice impaired, call 711.

Dated this day of 06/05/2024. Roger D. Eaton Clerk of The Circuit Court By: (SEAL) B. Lackey Deputy Clerk

Submitted by: Miller, George & Suggs, PLLC ATTORNEY FOR PLAINTIFF 210 N. University Drive, Suite 900 Coral Springs, FL 33071 DESIGNATED PRIMARY E-MAIL FOR SERVICE PURSUANT TO FLA. R. WD. ADMIN 2.516 ESERVICE@MGS-LEGAL.COM 22FL373-0209 June 14, 21, 2024 24-00562T

NOTICE OF ACTION IN THE CIRCUIT COURT OF THE TWENTIETH JUDICIAL CIRCUIT IN AND FOR CHARLOTTE COUNTY, FLORIDA CASE NO.: 24000746CA TATIANA REALTY, INC., Plaintiff, v. NEW VISTA PROPERTIES, INC., and BRIAN MINDLEY, Defendants. TO: BRIAN MINDLEY c/o NEW VISTA PROPERTIES, INC. 15280 NW 79TH CT., STE 350 MIAMI LAKES, FL 33016 YOU ARE NOTIFIED that an action to quiet title on the following property in Charlotte County, Florida: THE FOLLOWING DESCRIBED LAND, SITUATE, LYING, AND BEING IN CHARLOTTE COUNTY, FLORIDA, TO WIT: Lot 4, Block 2869, PORT CHARLOTTE SUBDIVISION, SECTION 49, a subdivision according to the plat thereof, recorded in Plat Book 5, Pages 63A through 63E, of the Public Records of Charlotte County, Florida. has been filed against you and that you are required to serve a copy of your written defenses, if any, to it on The Law Office of C.W. Wickersham, Jr., P.A., Plaintiff’s attorney, at 2720 Park Street, Suite 205, Jacksonville, Florida, 32205, Phone Number: (904) 389-6202, not

less than 28 days of the first date of publication of this Notice, and file the original with the Clerk of this Court, at 350 E Marion Ave, Punta Gorda, FL 33950 before service on Plaintiff or immediately thereafter. If you fail to do so, a Default may be entered against you for the relief demanded in the Complaint. If you are a person with a disability who needs any accommodation in order to participate in this proceeding, you are entitled, at no cost to you, to the provision of certain assistance. Please contact the Administrative Services Manager, whose office is located at 350 E. Marion Avenue, Punta Gorda, Florida 33950, and whose telephone number is (941) 637-2110 or jembury@ca.cjis20.org, at least 7 days before your scheduled court appearance, or immediately upon receiving this notification if the time before the scheduled appearance is less than 7 days; if you are hearing or voice impaired, call 711. DATED this 29th day of May, 2024. Clerk of the Circuit Court By: B. Lackey (SEAL) As Deputy Clerk The Law

of C.W. Wickersham, Jr., P.A., Plaintiff’s attorney, 2720 Park Street, Suite 205, Jacksonville, Florida, 32205, Phone Number: (904) 389-6202 June 14, 21, 28; July 5, 2024 24-00561T

NOTICE OF ACTION IN THE COUNTY COURT OF THE TWENTIETH JUDICIAL CIRCUIT IN AND FOR CHARLOTTE COUNTY, FLORIDA CIVIL DIVISION CASE NO: 24-CC-0175 (Charlotte) ROTONDA MEADOWS/VILLAS CONSERVATION ASSOCIATION, INC. a Florida not-for-profit Corporation Plaintiff, v. BEXAIDA SANTIAGO, Defendant. TO: BEXAIDA SANTIAGO Calle FM11, Hermanas Davila, Bayamon, PR 00959 YOU ARE NOTIFIED that an action to foreclose a Claim of Lien on the following described property in CHARLOTTE County, Florida: Lot(s) 17, Block 100, in ROTONDA MEADOWS, according to the plat thereof, recorded in Plat Book 10, Pages 15-A-15-Z-18, of the pUblic Records of Charlotte County, Florida. Property Address: 8 Wren Dr, Placida, FL 33946 Which has the address of: 8Wren Dr, Placida, FL 33946 has been filed against you, and you are required to serve a copy of your written defenses, if any, to it on Association Legal Services, LLC, Plaintiff’s attorney, at 12600 World Plaza Lane. Building #63, Fort Myers, FL 33907 (239-887-4276),

leland@associationlegalservices.com, within thirty (30) days from first date of publication, and file the original with the Clerk of this Court either before service on Plaintiff’s attorney or immediately thereafter; otherwise a default will be entered against you for the relief demanded in the Complaint or petition. If you are a person with a disability who needs any accommodation in order to participate in this proceeding, you are entitled, at no cost to you, to the provision of certain assistance. Please contact the Administrative Services Manager, whose office is located at 350 E. Marion Avenue, Punta Gorda, Florida 33950, and whose telephone number is (941) 637-2110 or jembury@ca.cjis20.org, at least 7 days before your scheduled court appearance, or immediately upon receiving this notification if the time before the scheduled appearance is less than 7 days; if you are hearing or voice impaired, call 711. DATED on June 5, 2024. ROGER D. EATON CLERK OF THE CIRCUIT COURT By: D. Gerace (SEAL) As Deputy Clerk Association Legal Services, LLC Plaintiff’s attorney 12600 World Plaza Lane. Building #63 Fort Myers, FL 33907 (239-887-4276) leland@associationlegalservices.com June 14, 21, 2024 24-00560T

NOTICE OF CIVIL ACTION IN THE CIRCUIT COURT OF THE TWENTIETH JUDICIAL CIRCUIT IN AND FOR CHARLOTTE COUNTY, FLORIDA CIVIL ACTION CASE NO.: 2024-001212-CA

GREGORIA MEIER, Plaintiff, vs. ESTATE OF GLADYCE AMANDA KIPP MEIER WIGGLESWORTH a/k/a

GLADYS M. WIGGLESWORTH; UNKNOWN HEIRS OF THE ESTATE OF AMANDA KIPP MEIER WIGGLESWORTH a/k/a

GLADYCE M. WIGGLESWORTH, Defendant. TO: ESTATE OF GLADYCE AMANDA KIPP MEIER WIGGLESWORTH a/k/a GLADYS M. WIGGLESWORTH; UNKNOWN HEIRS OF THE ESTATE OF AMANDA KIPP MEIER

WIGGLESWORTH a/k/a GLADYCE M. WIGGLESWORTH (Address Unknown) COMES NOW, the Plaintiff, GREGORIA MEIER, by and through the undersigned attorney, and hereby gives notice that a civil action has been instituted on the above action, and is now pending in the Circuit Court of the State of Florida, County of Charlotte, on May 20, 2024. Case No: 2024-001212-CA.

1. Legal Description: Lot 4, Block 4852, PORT CHARLOTTE GOLF COURSE SECTION, according to the Plat thereof, recorded in plat Book 7, Pages 33A thru 33G, of the Public Records of Charlotte County, Florida. Parcel ID: 402214403004

More Particularly Known As: 2308 Conway Blvd., Port Charlotte, Florida 33952 You are required to serve an Answer to this action upon: RICHARD M. RICCIARDI, JR., ESQUIRE of YOUR

ADVOCATES, P.A., Plaintiff’s attorney, who address is 2050 McGregor Blvd., Fort Myers, FL 33901, on or before July 5, 2024, and file the original with the clerk of this court at Charlotte County Justice Center, 350 E Marion Avenue, Punta Gorda, Florida 33950, either before service on Plaintiff’s attorney or immediately thereafter. You must keep the Clerk of the Circuit Court’s office notified of your current address. Future papers in this lawsuit will be mailed to the address on record at the clerk’s office. If you are a person with a disability who needs any accommodation in order to participate in this proceeding, you are entitled, at no cost to you, to the provision of certain assistance. Please contact Jon Embury, Administrative Services Manager, whose office is located at 350 E. Marion Avenue, Punta Gorda, Florida 33950, and whose telephone number is (941) 637-2110, at least 7 days before your scheduled court appearance, or immediately upon receiving this notification if the time before the scheduled appearance is less than 7 days; if you are hearing or voice impaired, call 711.

DATED THIS 30th DAY OF May, 2024.

ROGER D. EATON Clerk of the Circuit Court (SEAL) By: B. Lackey Deputy Clerk /s/ Richard M. Ricciardi, Jr., Esq. Richard M. Ricciardi, Jr., Esquire Florida Bar No. 90567

40 JUNE 21 - JUNE 27, 2024 BUSINESS OBSERVER MANATEE COUNTY 40 CHARLOTTE COUNTY
Your Advocates Attorney for Plaintiff 2050 McGregor Blvd. Fort Myers, FL 33901 (239) 689-1096 (Telephone) (239) 791-8132 (Facsimile) rricciardi(@your-advocates.org June 7, 14, 21, 28, 2024 24-00533T THIRD INSERTION --- ACTIONS / SALES ---
Office
SECOND INSERTION SECOND INSERTION SECOND INSERTION SECOND INSERTION SECOND INSERTION SECOND INSERTION SECOND INSERTION SECOND INSERTION

LEE COUNTY LEGAL NOTICES

FILING INSTRUCTIONS

NOTICE OF AGENCY ACTION

Notice is hereby provided that the South Florida Water Management District, on June 12, 2024, issued an Environmental Resource Permit (New Construction Operation), Permit Number 36-110084-P, Application Number 230815-39896, with conditions to Florida Department of Transportation District 1, at 801 North Broadway Avenue, Bartow, Fl. 33830 for the construction and operation of stormwater management (SWM) system serving of 381.22 acres for transportation development known as SR-31 from South of SR 78 To North of Horseshoe Rd. 442027-2. This permit authorizes the construction of the new SR31 roadway an approximate 26,380 linear foot four lane roadway with associated infrastructure located to the east of the existing SR 31. The stormwater for the new SR 31 roadway is designed for conceptual six lane configuration; the SWM facilities consist of wet detention and conveyance connections for offsite flows and the existing SR 31 roadway will be converted into a frontage road and maintained by Lee County.

A copy of the permit can be obtained by contacting the Regulatory Records Management Section, during normal business hours, 8:00 a.m. to 5:00 p.m., Monday through Friday, except legal holidays, at 3301 Gun Club Road, West Palm Beach, FL 33406, Regulation Division, by telephone at 561-682-6911, by e-mail at permits@sfwmd.gov, or by accessing the permit directly from the District’s website (www.sfwmd.gov) using the Application/Permit Search on the ePermitting page. The District’s agency action is final unless a timely petition for an administrative hearing is filed under Sections 120.569 and 120.57 of the Florida Statutes before the deadline for filing a petition.

As required by Sections 120.569 and 120.60(3), Fla. Stat., the following is notice of the opportunities which may be available for administrative hearing or judicial review when the substantial interests of a party are determined by an agency. Please note that this Notice of Rights is not intended to provide legal advice. Not all of the legal proceedings detailed below may be an applicable or appropriate remedy. You may wish to consult an attorney regarding your legal rights.

RIGHT TO REQUEST ADMINISTRATIVE HEARING

A person whose substantial interests are or may be affected by the South Florida Water Management District’s (SFWMD or District) action has the right to request an administrative hearing on that action pursuant to Sections 120.569 and 120.57, Fla. Stat. Persons seeking a hearing on a SFWMD decision which affects or may affect their substantial interests shall file a petition for hearing with the Office of the District Clerk of the SFWMD, in accordance with the filing instructions set forth herein, within 21 days of receipt of written notice of the decision, unless one of the following shorter time periods apply: (1) within 14 days of the notice of consolidated intent to grant or deny concurrently reviewed applications for environmental resource permits and use of sovereign submerged lands pursuant to Section 373.427, Fla. Stat.; or (2) within 14 days of service of an Administrative Order pursuant to Section 373.119(1), Fla. Stat. “Receipt of written notice of agency decision” means receipt of written notice through mail, electronic mail, or posting that the SFWMD has or intends to take final agency action, or publication of notice that the SFWMD has or intends to take final agency action. Any person who receives written notice of a SFWMD decision and fails to file a written request for hearing within the timeframe described above waives the right to request a hearing on that decision.

If the District takes final agency action which materially differs from the noticed intended agency decision, persons who may be substantially affected shall, unless otherwise provided by law, have an additional Rule 28-106.111, Fla. Admin. Code, point of entry.

Any person to whom an emergency order is directed pursuant to Section 373.119(2), Fla. Stat., shall comply therewith immediately, but on petition to the board shall be afforded a hearing as soon as possible.

A person may file a request for an extension of time for filing a petition. The SFWMD may, for good cause, grant the request. Requests for extension of time must be filed with the SFWMD prior to the deadline for filing a petition for hearing. Such requests for extension shall contain a certificate that the moving party has consulted with all other parties concerning the extension and that the SFWMD and any other parties agree to or oppose the extension. A timely request for an extension of time shall toll the running of the time period for filing a petition until the request is acted upon.

FIRST INSERTION

Notice Under Fictitious Name Law

According to Florida Statute Number 865.09

NOTICE IS HEREBY GIVEN that the undersigned, desiring to engage in business under the Fictitious Name of Solutions Insurance Services located at 2043 NE 5th St in the City of Cape Coral, Lee County, FL 33909 intends to register the said name with the Division of Corporations of the Department of State, Tallahassee, Florida.

Dated this 16th day of June, 2024. Solutions Money Management, LLC June 21, 2024 24-02530L FIRST INSERTION

FIRST INSERTION

NOTICE OF APPLICATION FOR TAX DEED Section 197.512 F.S. Tax Deed #:2024000095

NOTICE IS HEREBY GIVEN that West Wind Breeze LLC the holder of the following certificate(s) has filed said certificate(s) for a tax deed to be issued thereon. The certificate number(s), year(s) of issuance, the description of the property and the name(s) in which it was assessed are as follows: Certificate Number: 17-007158 Year of Issuance 2017 Description of Property LEHIGH ACRES UNIT 1 BLK.12 PB 15 PG 91 LOT 7 Strap Number 3544-26-01-00012.0070

Notice Under Fictitious Name Law

According to Florida Statute Number 865.09

NOTICE IS HEREBY GIVEN that the undersigned, desiring to engage in business under the Fictitious Name of Shield of Gold located at 15200 South Tamiami trail, suite 117 in the City of Ft Meyers, Lee County, FL 33908 intends to register the said name with the Division of Corporations of the Department of State, Tallahassee, Florida.

Dated this 17th day of June, 2024. greg holloway June 21, 2024 24-02543L

Names in which assessed: SALEBAN OMAR SALEBAN All of said property being in the County of Lee, State of Florida. Unless such certificate(s) shall be redeemed according to the law the property described in such certificate(s) will be sold to the highest bidder online at www.lee.realtaxdeed.com on 08/13/2024 at 10:00 am, by Kevin C. Karnes, Lee County Clerk of the Circuit Court & Comptroller. Jun. 21, 28; Jul. 5, 12, 2024 24-02438L FIRST INSERTION NOTICE OF APPLICATION FOR TAX DEED Section 197.512 F.S. Tax Deed #:2023002412 NOTICE IS HEREBY GIVEN that Cape Holdings Enterprises Inc the holder of the following certificate(s) has filed said certificate(s) for a tax deed to be issued thereon. The certificate number(s), year(s) of issuance, the description of the property and the name(s) in which it was assessed are as follows: Certificate Number: 18-004609 Year of Issuance 2018 Description of Property LEHIGH ACRES UNIT 9 BLK.91 PB 15 PG 61 LOT 22 Strap Number 1244-26-09-00091.0220 Names in which assessed: SANDRA RICHARD All of said property being in the County of Lee, State of Florida. Unless such certificate(s) shall be redeemed according to the law the property described in such certificate(s) will be sold to the highest bidder online at www.lee.realtaxdeed.com on 08/13/2024 at 10:00 am, by Kevin C. Karnes, Lee County Clerk of the Circuit Court & Comptroller. Jun. 21, 28; Jul. 5, 12, 2024 24-02443L

A petition for administrative hearing must be filed with the Office of the District Clerk of the SFWMD. Filings with the Office of the District Clerk may be made by mail, hand-delivery, or e-mail. Filings by facsimile will not be accepted. A petition for administrative hearing or other document is deemed filed upon receipt during normal business hours by the Office of the District Clerk at SFWMD headquarters in West Palm Beach, Florida. The District’s normal business hours are 8:00 a.m. –5:00 p.m., excluding weekends and District holidays. Any document received by the Office of the District Clerk after 5:00 p.m. shall be deemed filed as of 8:00 a.m. on the next regular business day. Additional filing instructions are as follows:

• Filings by mail must be addressed to the Office of the District Clerk, 3301 Gun Club Road, West Palm Beach, Florida 33406.

• Filings by hand-delivery must be delivered to the Office of the District Clerk. Delivery of a petition to the SFWMD’s security desk does not constitute filing. It will be necessary to request that the SFWMD’s security officer contact the Office of the District Clerk. An employee of the SFWMD’s Clerk’s office will receive and file the petition.

• Filings by e-mail must be transmitted to the Office of the District Clerk at clerk@sfwmd.gov. The filing date for a document transmitted by electronic mail shall be the date the Office of the District Clerk receives the complete document. A party who files a document by e-mail shall (1) represent that the original physically signed document will be retained by that party for the duration of the proceeding and of any subsequent appeal or subsequent proceeding in that cause and that the party shall produce it upon the request of other parties; and (2) be responsible for any delay, disruption, or interruption of the electronic signals and accepts the full risk that the document may not be properly filed.

INITIATION OF AN ADMINISTRATIVE HEARING

Pursuant to Sections 120.54(5)(b)4. and 120.569(2)(c), Fla. Stat., and Rules 28106.201 and 28-106.301, Fla. Admin. Code, initiation of an administrative hearing shall be made by written petition to the SFWMD in legible form and on 8 1/2 by 11 inch white paper. All petitions shall contain:

1. Identification of the action being contested, including the permit number, application number, SFWMD file number or any other SFWMD identification number, if known.

2. The name, address, any email address, any facsimile number, and telephone number of the petitioner and petitioner’s representative, if any.

3. An explanation of how the petitioner’s substantial interests will be affected by the agency determination.

4. A statement of when and how the petitioner received notice of the SFWMD’s decision.

5. A statement of all disputed issues of material fact. If there are none, the petition must so indicate.

6. A concise statement of the ultimate facts alleged, including the specific facts the petitioner contends warrant reversal or modification of the SFWMD’s proposed action.

7. A statement of the specific rules or statutes the petitioner contends require reversal or modification of the SFWMD’s proposed action.

8. If disputed issues of material fact exist, the statement must also include an explanation of how the alleged facts relate to the specific rules or statutes.

9. A statement of the relief sought by the petitioner, stating precisely the action the petitioner wishes the SFWMD to take with respect to the SFWMD’s proposed action.

MEDIATION

The procedures for pursuing mediation are set forth in Section 120.573, Fla. Stat., and Rules 28-106.111 and 28-106.401–.405, Fla. Admin. Code. The SFWMD is not proposing mediation for this agency action under Section 120.573, Fla. Stat., at this time.

RIGHT TO SEEK JUDICIAL REVIEW

Pursuant to Section 120.68, Fla. Stat., and in accordance with Florida Rule of Appellate Procedure 9.110, a party who is adversely affected by final SFWMD action may seek judicial review of the SFWMD’s final decision by filing a notice of appeal with the Office of the District Clerk of the SFWMD in accordance with the filing instructions set forth herein within 30 days of rendition of the order to be reviewed, and by filing a copy of the notice with the clerk of the appropriate district court of appeal. June 21, 2024 24-02535L

FIRST INSERTION

Notice Under Fictitious Name Law

According to Florida Statute Number 865.09

NOTICE IS HEREBY GIVEN that the undersigned, desiring to engage in business under the Fictitious Name of Mr. Rooter Plumbing of Naples located at 14 Swimming Pen Drive Suite 12 in the City of Middleburg, Clay County, FL 32068 intends to register the said name with the Division of Corporations of the Department of State, Tallahassee, Florida.

Dated this 18th day of June, 2024. Alcideworks LLC June 21, 2024 24-02544L

FIRST INSERTION

NOTICE OF APPLICATION FOR TAX DEED Section 197.512 F.S. Tax Deed #:2024000082

NOTICE IS HEREBY GIVEN that Cape Holdings Enterprises Inc the holder of the following certificate(s) has filed said certificate(s) for a tax deed to be issued thereon. The certificate number(s), year(s) of issuance, the description of the property and the name(s) in which it was assessed are as follows: Certificate Number: 19-006175 Year of Issuance 2019 Description of Property LEHIGH ACRES UNIT 6 BLK.56 PB 15 PG 78 LOT 16 Strap Number 2844-26-06-00056.0160

Names in which assessed: BERNARD HANSEN

All of said property being in the County of Lee, State of Florida. Unless such certificate(s) shall be redeemed according to the law the property described in such certificate(s) will be sold to the highest bidder online at www.lee.realtaxdeed.com on 08/13/2024 at 10:00 am, by Kevin C. Karnes, Lee County Clerk of the Circuit Court & Comptroller. Jun. 21, 28; Jul. 5, 12, 2024 24-02451L

FIRST INSERTION

NOTICE OF ACTION FOR DISSOLUTION OF MARRIAGE (NO CHILD OR FINANCIAL SUPPORT) IN THE CIRCUIT COURT OF THE TWENTIETH JUDICIAL CIRCUIT, IN AND FOR LEE COUNTY, FLORIDA Case No.: 24-DR-003646 STEPHEN ALLEN, Petitioner, and SANDRA ALLEN a/k/a SANDRA BURNS, Respondent, TO: SANDRA MICHELLE BURNS a/k/a Sandra Michelle Allen 17611 OLD BAYSHORE RD., N. FORT MYERS, FL 33917

YOU ARE NOTIFIED that an action for dissolution of marriage has been filed against you and that you are required to serve a copy of your written defenses, if any, to it on STEPHEN LYNN ALLEN, whose address is 17611 OLD BAYSHORE RD., N. FORT MYERS, FL 33917 on or before July 17, 2024, and file the original with the clerk of this Court at Lee County Clerk of Court, 1700 Monroe St., Fort Myers, FL 33901, before service on Petitioner or immediately thereafter. If you fail to do so, a default may be entered against you for the relief demanded in the petition. The action is asking the court to decide how the following real or personal property should be divided: NONE Copies of all court documents in this case, including orders, are available at the Clerk of the Circuit Court’s office. You may review these documents upon request. You must keep the Clerk of the Circuit Court’s office notified of your current address. (You may file Designation of Current Mailing and E-Mail Address, Florida Supreme Court Approved Family Law Form 12.915.) Future papers in this lawsuit will be mailed or e-mailed to the address(es) on record at the clerk’s office.

WARNING: Rule 12.285, Florida Family Law Rules of Procedure, requires certain automatic disclosure of documents and information. Failure to comply can result in sanctions, including dismissal or striking of pleadings.

Dated: 06/07/2024

Kevin C. Karnes

CLERK OF THE CIRCUIT COURT (SEAL) By: J. Collins Deputy Clerk Jun. 21, 28; Jul. 5, 12, 2024 24-02497L

FIRST INSERTION

PUBLIC SALE

FIRST INSERTION

NOTICE UNDER FICTITIOUS NAME LAW PURSUANT TO SECTION 865.09, FLORIDA STATUTES

NOTICE IS HEREBY GIVEN that Marcela Medina will engage in business under the fictitious name BONDED

BEAUTY SALON, with a physical address 1634 SE 47th St , Suite 6 Cape Coral, FL 33904, with a mailing address 1634 SE 47th St , Suite 6 Cape Coral, FL 33904, and already registered the name mentioned above with the Florida Department of State, Division of Corporations.

FIRST INSERTION NOTICE OF APPLICATION FOR TAX DEED Section 197.512 F.S. Tax Deed #:2024000110 NOTICE IS HEREBY GIVEN that Buffalo Bill LLC the holder of the following certificate(s) has filed said certificate(s) for a tax deed to be issued thereon. The certificate number(s), year(s) of issuance, the description of the property and the name(s) in which it was assessed are as follows: Certificate Number: 19-029600 Year of Issuance 2019 Description of Property CAPE CORAL UNIT 37 BLK 2561 PB 17 PG 28 LOTS 70 + 71 Strap Number 1144-23-C1-02561.0700

Names in which assessed: IRMA M BIRNBRAUER

All of said property being in the County of Lee, State of Florida. Unless such certificate(s) shall be redeemed according to the law the property described in such certificate(s) will be sold to the highest bidder online at www.lee.realtaxdeed.com on 08/13/2024 at 10:00 am, by Kevin C. Karnes, Lee County Clerk of the Circuit Court & Comptroller. Jun. 21, 28; Jul. 5, 12, 2024 24-02452L

Extra Space Storage, on behalf of itself or its affiliates, Life Storage or Storage Express, will hold a public auction to sell personal property described below belonging to those individuals listed below at the location indicated: 11301 Bonita Beach Rd Bonita Springs, FL 34135 July 11, 2024 at 12:30PM Jessica Marie Lucio Contreras Household Goods Yancey Crew Couch The auction will be listed and advertised on www.storagetreasures.com. Purchases must be made with cash only and paid at the above referenced facility in order to complete the transaction.

Extra Space Storage may refuse any bid and may rescind any purchase up until the winning bidder takes possession of the personal property.

June 21, 28, 2024 24-02542L

FIRST INSERTION

NOTICE OF APPLICATION FOR TAX DEED Section 197.512 F.S. Tax Deed #:2024000111

NOTICE IS HEREBY GIVEN that Buffalo Bill LLC the holder of the following certificate(s) has filed said certificate(s) for a tax deed to be issued thereon. The certificate number(s), year(s) of issuance, the description of the property and the name(s) in which it was assessed are as follows: Certificate Number: 19-029621 Year of Issuance 2019 Description of Property CAPE CORAL UNIT 37 BLK 2593 PB 17 PG 22 LOTS 52 + 53 Strap Number 1144-23-C1-02593.0520 Names in which assessed: EDGAR MALDONADO LOPEZ

All of said property being in the County of Lee, State of Florida. Unless such certificate(s) shall be redeemed according to the law the property described in such certificate(s) will be sold to the highest bidder online at www.lee.realtaxdeed.com on 08/13/2024 at 10:00 am, by Kevin C. Karnes, Lee County Clerk of the Circuit Court & Comptroller. Jun. 21, 28; Jul. 5, 12, 2024 24-02453L

of issuance, the description of the property and the name(s) in which it was assessed are as follows: Certificate Number: 21-012456 Year of Issuance 2021 Description of Property LEHIGH ACRES REPLAT SEC 2 BLK 3 PB 26 PG 175 LOT

PAGE 17 **Additional Public Notices may be accessed on BusinessObserverFL.com and the statewide legal notice website, FloridaPublicNotices.com** JUNE 21 - JUNE 27, 2024 Public Notices PAGES 17-36
--- PUBLIC
--FIRST INSERTION Notice Under Fictitious Name Law Pursuant
Section
Florida Statutes NOTICE IS HEREBY GIVEN that the undersigned, desiring to engage in business under fictitious name of KERSLAND HOLDINGS located at 10640 DEAL ROAD, in the County of LEE, in the City of NORTH FORT MEYERS, Florida 33917 intends to register the said name with the Division of Corporations of the Florida Department of State, Tallahassee, Florida. Dated at LEE, Florida, this 7TH day of MAY, 2024. KERR, JOSHUA June 21, 2024 24-02500L
SALES
to
865.09,
FIRST INSERTION Fictitious Name Notice OASIS AT VALENCIA BONITA Notice is hereby given that STERLING SPOON CULINARY MANAGEMENT CO, desiring to engage in business under the fictitious name of OASIS AT VALENCIA BONITA located at 16621 VALENCIA BONITA BLVD, BONITA SPRINGS, FLORIDA 34135 intends to register the said name in LEE county with the Division of Corporations, Florida Department of State, pursuant to section 865.09 of the Florida Statutes. June 21, 2024 24-02504L
June 21, 2024 24-02501L
--- TAX DEEDS ---
FIRST
GIVEN that Morning Star One LLC the holder of the following certificate(s) has filed said certificate(s) for a tax deed to be issued thereon. The certificate number(s), year(s) of issuance, the description of the property and the name(s) in which it was assessed are as follows: Certificate Number: 21-006508 Year of Issuance 2021 Description of Property LEHIGH ACRES UNIT 5 BLK 18 DB 254 PG 100 LOT 8 LESS SUBSURFACE RIGHTS ASSESSED UNDER 01-44-27-99-05018.0080 AS DESC IN OR 4516 PG 2118 Strap Number 01-44-27-0500018.0080 Names in which assessed: JULY 1, 2010, TRUST, UTA DATED 1ST OF JULY 2010 All of said property being in the County of Lee, State of Florida. Unless such certificate(s) shall be redeemed according to the law the property described in such certificate(s) will be sold to the highest bidder online at www.lee.realtaxdeed.com on 08/13/2024
F.S. Tax Deed #:2023002417 NOTICE IS HEREBY GIVEN that Day Star One LLC the holder of the following certificate(s) has filed said certificate(s) for a tax deed to be issued thereon. The certificate number(s), year(s)
which assessed:
BURKE
CO LTD DAY
LEY BURKE TRUSTEES CO., LTD. M. DAY All of said property being in the County of Lee, State of Florida. Unless such certificate(s) shall be redeemed
ing to the law the property described in such certificate(s) will be sold to the highest bidder online at www.lee.realtaxdeed.com on 08/13/2024 at 10:00 am, by Kevin C. Karnes, Lee County Clerk of the Circuit Court & Comptrol-
21,
FIRST INSERTION legal@businessobserverfl.com E-mail your Legal Notice SAVE TIME
INSERTION NOTICE OF APPLICATION FOR TAX DEED Section 197.512 F.S. Tax Deed #:2023002437 NOTICE IS HEREBY
at 10:00 am, by Kevin C. Karnes, Lee County Clerk of the Circuit Court & Comptroller. Jun. 21, 28; Jul. 5, 12, 2024 24-02473L FIRST INSERTION NOTICE OF APPLICATION FOR TAX DEED Section 197.512
6 LESS SUBSURFACE RIGHTS ASSESSED UNDER 02-45-26-9900003.0060 AS DESC IN OR 4516 PG 2118 Strap Number 0245-26-01-00003.0060 Names in
BERKELEY
TRUSTEES
M, BERKE-
accord-
ler. Jun.
28; Jul. 5, 12, 2024 24-02486L

FIRST INSERTION

NOTICE OF APPLICATION FOR TAX DEED

Section 197.512 F.S. Tax Deed #:2024000089

NOTICE IS HEREBY GIVEN that Yafei Cheng IRA the holder of the following certificate(s) has filed said certificate(s) for a tax deed to be issued thereon. The certificate number(s), year(s) of issuance, the description of the property and the name(s) in which it was assessed are as follows:

Certificate Number: 17-000758

Year of Issuance 2017 Description of Property S 80 FT OF N 645 FT OF W 112 FT OF W 1/2 OF NE 1/4 OF NW 1/4 OF SW 1/4 Strap Number 26-43-24-0000035.0010 Names in which assessed: ADJ INVESTMENTS, LLC

All of said property being in the County of Lee, State of Florida. Unless such certificate(s) shall be redeemed according to the law the property described in such certificate(s) will be sold to the highest bidder online at www.lee.realtaxdeed.com on 08/13/2024 at 10:00 am, by Kevin C. Karnes, Lee County Clerk of the Circuit Court & Comptroller. Jun. 21, 28; Jul. 5, 12, 2024

24-02437L

FIRST INSERTION

NOTICE OF APPLICATION FOR TAX DEED

Section 197.512 F.S. Tax Deed #:2023002381

NOTICE IS HEREBY GIVEN that Cape Holdings Enterprises Inc the holder of the following certificate(s) has filed said certificate(s) for a tax deed to be issued thereon. The certificate number(s), year(s) of issuance, the description of the property and the name(s) in which it was assessed are as follows:

Certificate Number: 17-014774

Year of Issuance 2017 Description of Property LEHIGH ACRES UNIT 8 BLK.67 PB 15 PG 95 LOT 16 Strap Number 03-45-26-08-00067.0160

Names in which assessed:

MARCELIN BOURDON, MARCELLIN BOURDON

All of said property being in the County of Lee, State of Florida. Unless such certificate(s) shall be redeemed according to the law the property described in such certificate(s) will be sold to the highest bidder online at www.lee.realtaxdeed.com on 08/13/2024 at 10:00 am, by Kevin C. Karnes, Lee County Clerk of the Circuit Court & Comptroller. Jun. 21, 28; Jul. 5, 12, 2024 24-02441L

FIRST INSERTION NOTICE OF APPLICATION FOR TAX DEED Section 197.512 F.S. Tax Deed #:2023002361 NOTICE IS HEREBY GIVEN that Buffalo Bill LLC the holder of the following certificate(s) has filed said certificate(s) for a tax deed to be issued thereon.

of issuance, the description of the property and the name(s) in which it was assessed are as follows:

Certificate Number: 20-024291 Year of Issuance 2020 Description of Property LEHIGH ACRES UNIT 7 BLK 36 PB 18 PG 130 LOT 20 Strap Number

27-45-27-07-00036.0200

Names in which assessed: TARPON IV, LLC

All of said property being in the County of Lee, State of Florida. Unless such certificate(s) shall be redeemed according to the law the property described in such certificate(s) will be sold to the highest bidder online at www.lee.realtaxdeed.com on 08/13/2024 at 10:00 am, by Kevin C. Karnes, Lee County Clerk of the Circuit Court & Comptroller. Jun. 21, 28; Jul. 5, 12, 2024 24-02459L

FIRST INSERTION

NOTICE OF APPLICATION FOR TAX DEED Section 197.512 F.S. Tax Deed #:2023002365

NOTICE IS HEREBY GIVEN that Buffalo Bill LLC the holder of the following certificate(s) has filed said certificate(s) for a tax deed to be issued thereon. The certificate number(s), year(s) of issuance, the description of the property and the name(s) in which it was assessed are as follows: Certificate Number: 20-024439 Year of Issuance 2020 Description of Property LEHIGH ACRES UNIT 2 BLK 6 PB 20 PG 56 LOT 13 Strap Number 28-4527-02-00006.0130 Names in which assessed: AMERICAN ESTATE AND TRUST

All of said property being in the County of Lee, State of Florida. Unless such certificate(s) shall be redeemed according to the law the property described in such certificate(s) will be sold to the highest bidder online at www.lee.realtaxdeed.com on 08/13/2024 at 10:00 am, by Kevin C. Karnes, Lee County Clerk of the Circuit Court & Comptroller. Jun. 21, 28; Jul. 5, 12, 2024 24-02463L

The certificate number(s), year(s) of issuance, the description of the property and the name(s) in which it was assessed are as follows:

Certificate Number: 20-024292

Year of Issuance 2020 Description of Property LEHIGH ACRES UNIT 7 BLK 36 PB 18 PG 130 LOT 24 Strap Number 27-45-27-07-00036.0240 Names in which assessed: TARPON IV, LLC

All of said property being in the County of Lee, State of Florida. Unless such certificate(s) shall be redeemed according to the law the property described in such certificate(s) will be sold to the highest bidder online at www.lee.realtaxdeed.com on 08/13/2024 at 10:00 am, by Kevin C. Karnes, Lee County Clerk of the Circuit Court & Comptroller. Jun. 21, 28; Jul. 5, 12, 2024 24-02460L

FIRST INSERTION

NOTICE OF APPLICATION FOR TAX DEED

Section 197.512 F.S. Tax Deed #:2023002421 NOTICE IS HEREBY GIVEN that Day Star One LLC the holder of the following certificate(s) has filed said certificate(s) for a tax deed to be issued thereon. The certificate number(s), year(s) of issuance, the description of the property and the name(s) in which it was assessed are as follows: Certificate Number: 21-008315 Year of Issuance 2021 Description of Property LEHIGH ACRES UNIT 11 BLK.43 DB 254 PG 85 LOT 18 Strap Number 1344-27-11-00043.0180 Names in which assessed: BREEN INC, BREEN, INC., PALM PROPERTIES, LLC All of said property being in the County of Lee, State of Florida. Unless such certificate(s) shall be redeemed according to the law the property described in such certificate(s) will be sold to the highest bidder online at www.lee.realtaxdeed.com on 08/13/2024 at 10:00 am, by Kevin C. Karnes, Lee County Clerk of the Circuit Court & Comptroller. Jun. 21, 28; Jul. 5, 12, 2024 24-02474L

FIRST INSERTION

NOTICE OF APPLICATION FOR TAX DEED Section 197.512 F.S.

Tax Deed #:2024000094

NOTICE IS HEREBY GIVEN that Day Star One LLC the holder of the following certificate(s) has filed said certificate(s) for a tax deed to be issued thereon. The certificate number(s), year(s) of issuance, the description of the property and the name(s) in which it was assessed are as follows:

Certificate Number: 18-006225

Year of Issuance 2018 Description of Property LEHIGH ACRES UNIT 9 BLK 53 PB 15 PG 75 LOT 5 Strap Number 2644-26-09-00053.0050

Names in which assessed:

GORDANA GRUBER, HARALD GRUBER

All of said property being in the County of Lee, State of Florida. Unless such certificate(s) shall be redeemed according to the law the property described in such certificate(s) will be sold to the highest bidder online at www.lee.realtaxdeed.com on 08/13/2024 at 10:00 am, by Kevin C. Karnes, Lee County Clerk of the Circuit Court & Comptroller. Jun. 21, 28; Jul. 5, 12, 2024 24-02444L

FIRST INSERTION

NOTICE OF APPLICATION FOR TAX DEED

Section 197.512 F.S.

Tax Deed #:2023002375

NOTICE IS HEREBY GIVEN that Buffalo Bill LLC the holder of the following certificate(s) has filed said certificate(s) for a tax deed to be issued thereon.

The certificate number(s), year(s) of issuance, the description of the property and the name(s) in which it was assessed are as follows:

Certificate Number: 20-024354

Year of Issuance 2020 Description of Property LEHIGH ACRES UNIT 12 BLK 58 PB 28 PG 135 LOT 28 Strap Number 27-45-27-12-00058.0280 Names in which assessed:

MICHELLE LIRANTE

All of said property being in the County of Lee, State of Florida. Unless such certificate(s) shall be redeemed according to the law the property described in such certificate(s) will be sold to the highest bidder online at www.lee.realtaxdeed.com on 08/13/2024 at 10:00 am, by Kevin C. Karnes, Lee County Clerk of the Circuit Court & Comptroller. Jun. 21, 28; Jul. 5, 12, 2024 24-02461L

FIRST INSERTION

NOTICE OF APPLICATION FOR TAX DEED

Section 197.512 F.S.

Tax Deed #:2023002430

NOTICE IS HEREBY GIVEN that

Day Star One LLC the holder of the following certificate(s) has filed said certificate(s) for a tax deed to be issued thereon. The certificate number(s), year(s) of issuance, the description of the property and the name(s) in which it was assessed are as follows: Certificate Number: 21-008435 Year of Issuance 2021 Description of Property LEHIGH ACRES UNIT 8 BLK.31 DB 254 PG 80 LOT 4 Strap Number 1444-27-08-00031.0040 Names in which assessed: BASILISA TORRES, BASILSA TORRES

All of said property being in the County of Lee, State of Florida. Unless such certificate(s) shall be redeemed according to the law the property described in such certificate(s) will be sold to the highest bidder online at www.lee.realtaxdeed.com on 08/13/2024 at 10:00 am, by Kevin C. Karnes, Lee County Clerk of the Circuit Court & Comptroller. Jun. 21, 28; Jul. 5, 12, 2024 24-02475L

FIRST INSERTION

NOTICE OF APPLICATION FOR TAX DEED Section 197.512 F.S. Tax Deed #:2023002414

NOTICE IS HEREBY GIVEN that Cape Holdings Enterprises Inc the holder of the following certificate(s) has filed said certificate(s) for a tax deed to be issued thereon. The certificate number(s), year(s) of issuance, the description of the property and the name(s) in which it was assessed are as follows:

Certificate Number: 18-017928

Year of Issuance 2018 Description of Property LEHIGH ACRES UNIT 1 BLK 7 PB 18 PG 19 LOTS 12 + 13 Strap Number 13-45-27-01-00007.0120 Names in which assessed: CHARLES R MOSSGROVE, DONNA J MOSSGROVE

All of said property being in the County of Lee, State of Florida. Unless such certificate(s) shall be redeemed according to the law the property described in such certificate(s) will be sold to the highest bidder online at www.lee.realtaxdeed.com on 08/13/2024 at 10:00 am, by Kevin C. Karnes, Lee County Clerk of the Circuit Court & Comptroller. Jun. 21, 28; Jul. 5, 12, 2024 24-02446L

FIRST INSERTION NOTICE OF APPLICATION FOR TAX DEED Section 197.512 F.S. Tax Deed #:2023002373 NOTICE IS HEREBY GIVEN that Buffalo Bill LLC the holder of the following certificate(s) has filed said certificate(s) for a tax deed to be issued thereon. The certificate number(s), year(s) of issuance, the description of the property and the name(s) in which it was assessed are as follows:

Certificate Number: 20-024400

Year of Issuance 2020 Description of Property LEHIGH ACRES UNIT 14 BLK 71 PB 18 PG 137 LOT 1 Strap Number 2745-27-14-00071.0010

Names in which assessed: TARPON IV, LLC

All of said property being in the County of Lee, State of Florida. Unless such certificate(s) shall be redeemed according to the law the property described in such certificate(s) will be sold to the highest bidder online at www.lee.realtaxdeed.com on 08/13/2024 at 10:00 am, by Kevin C. Karnes, Lee County Clerk of the Circuit Court & Comptroller. Jun. 21, 28; Jul. 5, 12, 2024 24-02462L

FIRST INSERTION NOTICE OF APPLICATION FOR TAX DEED Section 197.512 F.S. Tax Deed #:2023002433

NOTICE IS HEREBY GIVEN that Day Star One LLC the holder of the following certificate(s) has filed said certificate(s) for a tax deed to be issued thereon. The certificate number(s), year(s) of issuance, the description of the property and the name(s) in which it was assessed are as follows:

Certificate Number: 21-008460

Year of Issuance 2021 Description of Property LEHIGH

ACRES UNIT 10 BLK.37 DB 254 PG 80 LOT 18 Strap Number 14-44-27-10-00037.0180

Names in which assessed: G J KLUG, ILONA KLUG, JOSEPH KLUG

All of said property being in the County of Lee, State of Florida. Unless such certificate(s) shall be redeemed according to the law the property described in such certificate(s) will be sold to the highest bidder online at www.lee.realtaxdeed.com on 08/13/2024 at 10:00 am, by Kevin C. Karnes, Lee County Clerk of the Circuit Court & Comptroller. Jun. 21, 28; Jul. 5, 12, 2024 24-02476L

FIRST INSERTION

NOTICE OF APPLICATION FOR TAX DEED Section 197.512 F.S. Tax Deed #:2023002409

NOTICE IS HEREBY GIVEN that Cape Holdings Enterprises Inc the holder of the following certificate(s) has filed said certificate(s) for a tax deed to be issued thereon. The certificate number(s), year(s) of issuance, the description of the property and the name(s) in which it was assessed are as follows:

Certificate Number: 18-019949

Year of Issuance 2018 Description of Property LEHIGH ACRES UNIT 3 BLK 31 PB 18 PG 92 LOT 63 Strap Number 24-45-27-03-00031.0630

Names in which assessed: HUGO BROOKS, VELMA BROOKS

All of said property being in the County of Lee, State of Florida. Unless such certificate(s) shall be redeemed according to the law the property described in such certificate(s) will be sold to the highest bidder online at www.lee.realtaxdeed.com on 08/13/2024 at 10:00 am, by Kevin C. Karnes, Lee County Clerk of the Circuit Court & Comptroller. Jun. 21, 28; Jul. 5, 12, 2024 24-02447L

FIRST INSERTION NOTICE OF APPLICATION FOR TAX DEED Section 197.512 F.S. Tax Deed #:2023002367

NOTICE IS HEREBY GIVEN that Buffalo Bill LLC the holder of the following certificate(s) has filed said certificate(s) for a tax deed to be issued thereon.

The certificate number(s), year(s) of issuance, the description of the property and the name(s) in which it was assessed are as follows: Certificate Number: 20-024534

Year of Issuance 2020 Description of Property LEHIGH ACRES UNIT 6 BLK 26 PB 20 PG 60 LOT 9 Strap Number 2845-27-06-00026.0090 Names in which assessed: N B KRIPALANI

All of said property being in the County of Lee, State of Florida. Unless such certificate(s) shall be redeemed according to the law the property described in such certificate(s) will be sold to the highest bidder online at www.lee.realtaxdeed.com on 08/13/2024 at 10:00 am, by Kevin C. Karnes, Lee County Clerk of the Circuit Court & Comptroller. Jun. 21, 28; Jul. 5, 12, 2024 24-02464L

FIRST INSERTION

NOTICE OF APPLICATION FOR TAX DEED Section 197.512 F.S.

Tax Deed #:2023002434

NOTICE IS HEREBY GIVEN that Day Star One LLC the holder of the following certificate(s) has filed said certificate(s) for a tax deed to be issued thereon. The certificate number(s), year(s) of issuance, the description of the property and the name(s) in which it was assessed are as follows: Certificate Number: 21-008612 Year of Issuance 2021 Description of Property LEHIGH ACRES UNIT 11 BLK 44 DB 254 PG 75 LOT 19 Strap Number 1544-27-11-00044.0190 Names in which assessed: ANA M COPPIN, LEON R IRAL, LEON R IRAL ESTATE

All of said property being in the County of Lee, State of Florida. Unless such certificate(s) shall be redeemed according to the law the property described in such certificate(s) will be sold to the highest bidder online at www.lee.realtaxdeed.com on 08/13/2024 at 10:00 am, by Kevin C. Karnes, Lee County Clerk of the Circuit Court & Comptroller. Jun. 21, 28; Jul. 5, 12, 2024 24-02477L

FIRST INSERTION

NOTICE OF APPLICATION FOR TAX DEED

Section 197.512 F.S. Tax Deed #:2023002422

NOTICE IS HEREBY GIVEN that Day Star One LLC the holder of the following certificate(s) has filed said certificate(s) for a tax deed to be issued thereon. The certificate number(s), year(s) of issuance, the description of the property and the name(s) in which it was assessed are as follows:

18 JUNE 21 - JUNE 27, 2024 BUSINESS OBSERVER
---
---
LEE COUNTY
TAX DEEDS
FIRST INSERTION NOTICE OF APPLICATION FOR TAX DEED Section 197.512 F.S. Tax Deed #:2023002410 NOTICE IS HEREBY GIVEN that Cape Holdings Enterprises Inc the holder of the following certificate(s) has filed said certificate(s) for a tax deed to be issued thereon. The certificate number(s), year(s) of issuance, the description of the property and the name(s) in which it was assessed are as follows: Certificate Number: 18-020114 Year of Issuance 2018 Description of Property LEHIGH ACRES UNIT 1 BLK 6 PB 18 PG 107 LOT 7 Strap Number 25-4527-01-00006.0070 Names in which assessed: EMISSEL SAINT JUSTE, EMISSEL SAINT-JUSTE All of said property being in the County of Lee, State of Florida. Unless such certificate(s) shall be redeemed according to the law the property described in such certificate(s) will be sold to the highest bidder online at www.lee.realtaxdeed.com on 08/13/2024 at 10:00 am, by Kevin C. Karnes, Lee County Clerk of the Circuit Court & Comptroller. Jun. 21, 28; Jul. 5, 12, 2024 24-02448L FIRST INSERTION NOTICE OF APPLICATION FOR TAX DEED Section 197.512 F.S. Tax Deed #:2023002360 NOTICE IS HEREBY GIVEN that Buffalo Bill LLC the holder of the following certificate(s) has filed said certificate(s) for a tax deed to be issued thereon. The certificate number(s), year(s)
FIRST INSERTION NOTICE OF APPLICATION FOR TAX DEED Section 197.512 F.S. Tax Deed #:2023002368 NOTICE IS HEREBY GIVEN that Buffalo Bill LLC the holder of the following certificate(s) has filed said certificate(s) for a tax deed to be issued thereon. The certificate number(s), year(s) of issuance, the description of the property and the name(s) in which it was assessed are as follows: Certificate Number: 20-024541 Year of Issuance 2020 Description of Property LEHIGH ACRES UNIT 6 BLK 28 PB 20 PG 60 LOT 12 Strap Number 2845-27-06-00028.0120 Names in which assessed: TARPON IV, LLC All of said property being in the County of Lee, State of Florida. Unless such certificate(s) shall be redeemed according to the law the property described in such certificate(s) will be sold to the highest bidder online at www.lee.realtaxdeed.com on 08/13/2024 at 10:00 am, by Kevin C. Karnes, Lee County Clerk of the Circuit Court & Comptroller. Jun. 21, 28; Jul. 5, 12, 2024 24-02466L
Certificate Number: 21-008665 Year of Issuance 2021 Description of Property LEHIGH ACRES UNIT 3 BLK 9 DB 254 PG 70 LOT 5 Strap Number 1644-27-03-00009.0050 Names in which assessed: A J SAYLOR, ANDREW J. SAYLOR, RUTH H SAYLOR All of said property being in the County of Lee, State of Florida. Unless such certificate(s) shall be redeemed according to the law the property described in such certificate(s) will be sold to the highest bidder online at www.lee.realtaxdeed.com on 08/13/2024 at 10:00 am, by Kevin C. Karnes, Lee County Clerk of the Circuit Court & Comptroller. Jun. 21, 28; Jul. 5, 12, 2024 24-02478L Call 941-906-9386 or email legal@businessobserverfl.com • We offer an online payment portal for easy credit card payment • Service includes us e-filing your affidavit to the Clerk’s office on your behalf We publish all Public sale, Estate & Court-related notices LEGAL NOTICE PUBLISH YOUR and select the appropriate County name from the menu option LV20878_V30

FIRST INSERTION

NOTICE OF APPLICATION FOR TAX DEED

Section 197.512 F.S. Tax Deed #:2023002411

NOTICE IS HEREBY GIVEN that Cape Holdings Enterprises Inc the holder of the following certificate(s) has filed said certificate(s) for a tax deed to be issued thereon. The certificate number(s), year(s) of issuance, the description of the property and the name(s) in which it was assessed are as follows:

Certificate Number: 18-020121 Year of Issuance 2018 Description of Property LEHIGH ACRES UNIT 2 BLK 9 PB 18 PG 108 LOT 4 Strap Number 25-4527-02-00009.0040 Names in which assessed: VERTICAL ENTERPRISES

LLC All of said property being in the County of Lee, State of Florida. Unless such certificate(s) shall be redeemed according to the law the property described in such certificate(s) will be sold to the highest bidder online at www.lee.realtaxdeed.com on 08/13/2024 at 10:00 am, by Kevin C. Karnes, Lee County Clerk of the Circuit Court & Comptroller. Jun. 21, 28; Jul. 5, 12, 2024 24-02449L

FIRST INSERTION

NOTICE OF APPLICATION FOR TAX DEED Section 197.512 F.S. Tax Deed #:2023002416

NOTICE IS HEREBY GIVEN that Cape Holdings Enterprises Inc the holder of the following certificate(s) has filed said certificate(s) for a tax deed to be issued thereon. The certificate number(s), year(s) of issuance, the description of the property and the name(s) in which it was assessed are as follows:

Certificate Number: 18-021188

Year of Issuance 2018 Description of Property LEHIGH ACRES UNIT 11 BLK 69 PB 28 PG 68 LOT 19 Strap Number 3645-27-11-00069.0190

Names in which assessed: JOSEPH LIQUEFATTO, PAULINE LIQUEFATTO

All of said property being in the County of Lee, State of Florida. Unless such certificate(s) shall be redeemed according to the law the property described in such certificate(s) will be sold to the highest bidder online at www.lee.realtaxdeed.com on 08/13/2024 at 10:00 am, by Kevin C. Karnes, Lee County Clerk of the Circuit Court & Comptroller. Jun. 21, 28; Jul. 5, 12, 2024 24-02450L

FIRST INSERTION NOTICE OF APPLICATION FOR TAX DEED Section 197.512 F.S. Tax Deed #:2024000078

The

erty and

the

number(s), year(s) of

of the

in which it was

are

Certificate Number: 20-034738 Year of Issuance 2020 Description of Property CAPE CORAL UNIT 37 BLK 2559 PB 17 PG 25 LOTS 23 + 24 Strap Number 1144-23-C1-02559.0230 Names in which assessed: CJC 431 ST LLC All of said property being in the County of Lee, State of Florida. Unless such certificate(s) shall be redeemed according to the law the property described in such certificate(s) will be sold to the highest bidder online at www.lee.realtaxdeed.com on 08/13/2024 at 10:00 am, by Kevin C. Karnes, Lee County Clerk of the Circuit Court & Comptroller.

Jun. 21, 28; Jul. 5, 12, 2024 24-02467L

FIRST INSERTION

NOTICE OF APPLICATION FOR TAX DEED

Section 197.512 F.S.

Tax Deed #:2023002435

NOTICE IS HEREBY GIVEN that

Day Star One LLC the holder of the following certificate(s) has filed said certificate(s) for a tax deed to be issued thereon. The certificate number(s), year(s) of issuance, the description of the property and the name(s) in which it was assessed are as follows: Certificate Number: 21-008671 Year of Issuance 2021 Description of Property LEHIGH ACRES UNIT 3 BLK 11 DB 254 PG 70 LOT 22 Strap Number 1644-27-03-00011.0220 Names in which assessed: RALPH W DUNN, ROSALIND DUNN

All of said property being in the County of Lee, State of Florida. Unless such certificate(s) shall be redeemed according to the law the property described in such certificate(s) will be sold to the highest bidder online at www.lee.realtaxdeed.com on 08/13/2024 at 10:00 am, by Kevin C. Karnes, Lee County Clerk of the Circuit Court & Comptroller. Jun. 21, 28; Jul. 5, 12, 2024 24-02479L

NOTICE IS HEREBY GIVEN that TAX LIEN FUND LP the holder of the following certificate(s) has filed said certificate(s) for a tax deed to be issued thereon. The certificate number(s), year(s) of issuance, the description of the property and the name(s) in which it was assessed are as follows: Certificate Number: 21-002847 Year of Issuance 2021 Description of Property LEHIGH ACRES UNIT 4 BLK.33 PB 15 PG 58 LOT 3 Strap Number 0144-26-04-00033.0030

Names in which assessed: ROSS DODD-HUMES

All of said property being in the County of Lee, State of Florida. Unless such certificate(s) shall be redeemed according to the law the property described in such certificate(s) will be sold to the highest bidder online at www.lee.realtaxdeed.com on 08/13/2024 at 10:00 am, by Kevin C. Karnes, Lee County Clerk of the Circuit Court & Comptroller.

Jun. 21, 28; Jul. 5, 12, 2024 24-02468L

FIRST INSERTION NOTICE OF APPLICATION FOR TAX DEED Section 197.512 F.S. Tax Deed #:2023002393 NOTICE IS HEREBY GIVEN that TEN EAGLES LLC the holder of the following certificate(s) has filed said certificate(s) for a tax deed to be issued thereon. The certificate number(s), year(s) of issuance, the description of the property and the name(s) in which it was assessed are as follows: Certificate Number: 21-009154 Year of Issuance 2021 Description of Property LEHIGH ACRES UNIT 2 BLK 7 PB 15 PG 26 LOT 5 Strap Number 19-4427-02-00007.0050 Names in which assessed: DALEY LEE COUNTY REALTY TRUST

All of said property being in the County of Lee, State of Florida. Unless such certificate(s) shall be redeemed according to the law the property described in such certificate(s) will be sold to the highest bidder online at www.lee.realtaxdeed.com on 08/13/2024 at 10:00 am, by Kevin C. Karnes, Lee County Clerk of the Circuit Court & Comptroller. Jun. 21, 28; Jul. 5, 12, 2024 24-02481L

LEE COUNTY

FIRST INSERTION

NOTICE OF APPLICATION FOR TAX DEED

Section 197.512 F.S.

Tax Deed #:2024000115

NOTICE IS HEREBY GIVEN that Buffalo Bill LLC the holder of the following certificate(s) has filed said certificate(s) for a tax deed to be issued thereon. The certificate number(s), year(s) of issuance, the description of the property and the name(s) in which it was assessed are as follows:

Certificate Number: 19-029682

Year of Issuance 2019 Description of Property CAPE CORAL UNIT 37 BLK 2600 PB 17 PG 23 LOTS 19 + 20 Strap Number 1144-23-C2-02600.0190

Names in which assessed:

BARBARA S BUSH, D A BUSH, DAVID A BUSH

All of said property being in the County of Lee, State of Florida. Unless such certificate(s) shall be redeemed according to the law the property described in such certificate(s) will be sold to the highest bidder online at www.lee.realtaxdeed.com on 08/13/2024 at 10:00 am, by Kevin C. Karnes, Lee County Clerk of the Circuit Court & Comptroller. Jun. 21, 28; Jul. 5, 12, 2024 24-02455L

FIRST INSERTION

NOTICE OF APPLICATION FOR TAX DEED

Section 197.512 F.S.

Tax Deed #:2023002429

NOTICE IS HEREBY GIVEN that Day Star One LLC the holder of the following certificate(s) has filed said certificate(s) for a tax deed to be issued thereon. The certificate number(s), year(s) of issuance, the description of the property and the name(s) in which it was assessed are as follows:

Certificate Number: 21-005781

Year of Issuance 2021 Description of Property LEHIGH ESTATES UNIT 7 BLK 6 PB 15 PG 87 LOT 19 Strap Number 33-4426-07-00006.0190

Names in which assessed: BLANCA COSTA

All of said property being in the County of Lee, State of Florida. Unless such certificate(s) shall be redeemed according to the law the property described in such certificate(s) will be sold to the highest bidder online at www.lee.realtaxdeed.com on 08/13/2024 at 10:00 am, by Kevin C. Karnes, Lee County Clerk of the Circuit Court & Comptroller. Jun. 21, 28; Jul. 5, 12, 2024 24-02469L

FIRST INSERTION

NOTICE OF APPLICATION FOR TAX DEED

Section 197.512 F.S.

Tax Deed #:2023002394

NOTICE IS HEREBY GIVEN that TEN EAGLES LLC the holder of the following certificate(s) has filed said certificate(s) for a tax deed to be issued thereon. The certificate number(s), year(s) of issuance, the description of the property and the name(s) in which it was assessed are as follows: Certificate Number: 21-009161 Year of Issuance 2021 Description of Property LEHIGH ACRES UNIT 3 BLK 9 DB 252 PG 234 LOT 21 Strap Number 19-44-27-03-00009.0210

Names in which assessed:

SEPHLYN MARSHALL ESTATE

All of said property being in the County of Lee, State of Florida. Unless such certificate(s) shall be redeemed according to the law the property described in such certificate(s) will be sold to the highest bidder online at www.lee.realtaxdeed.com on 08/13/2024 at 10:00 am, by Kevin C. Karnes, Lee County Clerk of the Circuit Court & Comptroller. Jun. 21, 28; Jul. 5, 12, 2024 24-02482L

FIRST INSERTION

NOTICE OF APPLICATION FOR TAX DEED Section 197.512 F.S.

Tax Deed #:2024000118

NOTICE IS HEREBY GIVEN that Buffalo Bill LLC the holder of the following certificate(s) has filed said certificate(s) for a tax deed to be issued thereon. The certificate number(s), year(s) of issuance, the description of the property and the name(s) in which it was assessed are as follows:

Certificate Number: 19-029722 Year of Issuance 2019 Description of Property CAPE CORAL UNIT 37 BLK 2612 PB 17 PG 29 LOTS 20 + 21 Strap Number 1144-23-C2-02612.0200

Names in which assessed: SARA C VASQUEZ, SARA C VAZQUEZ

All of said property being in the County of Lee, State of Florida. Unless such certificate(s) shall be redeemed according to the law the property described in such certificate(s) will be sold to the highest bidder online at www.lee.realtaxdeed.com on 08/13/2024 at 10:00 am, by Kevin C. Karnes, Lee County Clerk of the Circuit Court & Comptroller. Jun. 21, 28; Jul. 5, 12, 2024 24-02456L

FIRST INSERTION NOTICE OF APPLICATION FOR TAX DEED Section 197.512 F.S. Tax Deed #:2023002398 NOTICE IS HEREBY GIVEN that TEN EAGLES LLC the holder of the following certificate(s) has filed said certificate(s) for a tax deed to be issued thereon. The certificate number(s), year(s) of issuance, the description of the property and the name(s) in which it was assessed are as follows:

Certificate Number: 21-006425

Year of Issuance 2021 Description of Property LEHIGH ACRES REPLT SEC 36 BLK 126 PB 26 PG 167 LOT 6 Strap Number 36-44-26-12-00126.0060

Names in which assessed: SERGIO LOPEZ

All of said property being in the County of Lee, State of Florida. Unless such certificate(s) shall be redeemed according to the law the property described in such certificate(s) will be sold to the highest bidder online at www.lee.realtaxdeed.com on 08/13/2024 at 10:00 am, by Kevin C. Karnes, Lee County Clerk of the Circuit Court & Comptroller. Jun. 21, 28; Jul. 5, 12, 2024 24-02472L

FIRST INSERTION

NOTICE OF APPLICATION FOR TAX DEED Section 197.512 F.S. Tax Deed #:2023002418

NOTICE IS HEREBY GIVEN that Day Star One LLC the holder of the following certificate(s) has filed said certificate(s) for a tax deed to be issued thereon. The certificate number(s), year(s) of issuance, the description of the property and the name(s) in which it was assessed are as follows: Certificate Number: 21-012500 Year of Issuance 2021 Description of Property LEHIGH ACRES REPLAT SEC 2 BLK 32 PB 26 PG 178 LOT 4 Strap Number 02-45-26-04-00032.0040 Names in which assessed: FRED J JOHNSON JR., VIRGINIA B JOHNSON

All of said property being in the County of Lee, State of Florida. Unless such certificate(s) shall be redeemed according to the law the property described in such certificate(s) will be sold to the highest bidder online at www.lee.realtaxdeed.com on 08/13/2024 at 10:00 am, by Kevin C. Karnes, Lee County Clerk of the Circuit Court & Comptroller. Jun. 21, 28; Jul. 5, 12, 2024 24-02489L

FIRST INSERTION

NOTICE OF APPLICATION FOR TAX DEED Section 197.512 F.S.

Tax Deed #:2023002374

NOTICE IS HEREBY GIVEN that Buffalo Bill LLC the holder of the following certificate(s) has filed said certificate(s) for a tax deed to be issued thereon. The certificate number(s), year(s) of issuance, the description of the property and the name(s) in which it was assessed are as follows:

Certificate Number: 20-007643

Year of Issuance 2020 Description of Property LEHIGH ACRES UNIT 9 BLK 74 PB 26 PG 44 LOT 4 Strap Number 2944-26-09-00074.0040 Names in which assessed: SANDRA GABY TANAKA SANTIBANEZ

All of said property being in the County of Lee, State of Florida. Unless such certificate(s) shall be redeemed according to the law the property described in such certificate(s) will be sold to the highest bidder online at www.lee.realtaxdeed.com on 08/13/2024 at 10:00 am, by Kevin C. Karnes, Lee County Clerk of the Circuit Court & Comptroller.

FIRST INSERTION

NOTICE OF APPLICATION FOR TAX DEED Section 197.512 F.S. Tax Deed #:2023002388

NOTICE IS HEREBY GIVEN that TEN EAGLES LLC the holder of the following certificate(s) has filed said certificate(s) for a tax deed to be issued thereon. The certificate number(s), year(s) of issuance, the description of the property and the name(s) in which it was assessed are as follows:

Certificate Number: 21-009167

Year of Issuance 2021 Description of Property LEHIGH ACRES UNIT 4 BLK.21 DB 252 PG 234 LOT 16 Strap Number 19-44-27-04-00021.0160

Names in which assessed: ADELINE M DUBISH

All of said property being in the County of Lee, State of Florida. Unless such certificate(s) shall be redeemed according to the law the property described in such certificate(s) will be sold to the highest bidder online at www.lee.realtaxdeed.com on 08/13/2024 at 10:00 am, by Kevin C. Karnes, Lee County Clerk of the Circuit Court & Comptroller. Jun. 21, 28; Jul. 5, 12, 2024 24-02483L

FIRST INSERTION

NOTICE OF APPLICATION FOR TAX DEED

Section 197.512 F.S.

Tax Deed #:2023002419

NOTICE IS HEREBY GIVEN that Day Star One LLC the holder of the following certificate(s) has filed said certificate(s) for a tax deed to be issued thereon. The certificate number(s), year(s) of issuance, the description of the property and the name(s) in which it was assessed are as follows: Certificate Number: 21-012525

Year of Issuance 2021 Description of Property LEHIGH ACRES UNIT 6 BLK 55 PB 15 PG 94 LOT 19 Strap Number 02-45-26-06-00055.0190 Names in which assessed: KATHERINE P HORGAN, WILLIAM L HORGAN All of said property being in the County of Lee, State of Florida. Unless such certificate(s) shall be redeemed according to the law the property described in such certificate(s) will be sold to the highest bidder online at www.lee.realtaxdeed.com on 08/13/2024 at 10:00 am, by Kevin C. Karnes, Lee County Clerk of the Circuit Court & Comptroller. Jun. 21, 28; Jul. 5, 12, 2024 24-02490L

19 JUNE 21 - JUNE 27, 2024 BusinessObserverFL.com
--- TAX
---
DEEDS
21, 28;
FIRST INSERTION NOTICE OF APPLICATION FOR TAX DEED Section 197.512 F.S. Tax Deed #:2024000077 NOTICE IS HEREBY GIVEN that Cape Holdings Enterprises Inc the holder of the following certificate(s) has filed said certificate(s) for a tax deed to be issued thereon. The certificate number(s), year(s) of issuance, the description of the property and the name(s) in which it was assessed are as follows: Certificate Number: 20-008705 Year of Issuance 2020 Description of Property LEHIGH ACRES UNIT 3 BLK.18 PB 15 PG 92 LOT 14 Strap Number 3644-26-03-00018.0140 Names in which assessed: DONALD R BRUCE, GILDA SULLIVAN All of said property being in the County of Lee, State of Florida. Unless such certificate(s) shall be redeemed according to the law the property described in such certificate(s) will be sold to the highest bidder online at www.lee.realtaxdeed.com on 08/13/2024 at 10:00 am, by Kevin C. Karnes, Lee County Clerk of the Circuit Court & Comptroller. Jun. 21, 28; Jul. 5, 12, 2024 24-02458L FIRST INSERTION NOTICE OF APPLICATION FOR TAX DEED Section 197.512 F.S. Tax Deed #:2024000109 NOTICE IS HEREBY GIVEN that Buffalo Bill LLC the holder of the following certificate(s) has filed said certificate(s) for a tax deed to be issued
Jun.
Jul. 5, 12, 2024 24-02457L
thereon.
certificate
issuance,
description
prop-
the name(s)
assessed
as follows:
FIRST INSERTION NOTICE OF APPLICATION FOR TAX DEED Section 197.512 F.S. Tax Deed #:2023002395
IS HEREBY GIVEN that TEN EAGLES LLC the holder of the following certificate(s) has filed said certificate(s) for a tax deed to be issued thereon. The certificate number(s), year(s) of issuance, the description of the property and the name(s) in which it was assessed are as follows: Certificate Number: 21-009552 Year of Issuance 2021 Description of Property LEHIGH ACRES UNIT 1 BLK.1 DB 254 PG 60 LOT 24 Strap Number 22-44-27-01-00001.0240 Names in which assessed: HUMBERTO PENA MIRANDA All of said property being in the County of Lee, State of Florida. Unless such certificate(s) shall be redeemed according to the law the property described in such certificate(s) will be sold to the highest bidder online at www.lee.realtaxdeed.com on 08/13/2024 at 10:00
by Kevin C. Karnes, Lee County
of the Circuit Court & Comptroller.
21, 28;
12, 2024
NOTICE
am,
Clerk
Jun.
Jul. 5,
24-02484L
FIRST
APPLICATION
TAX
197.512
Star One LLC the holder of the following certificate(s) has filed said certificate(s) for a tax deed to be issued thereon. The certificate number(s), year(s) of issuance, the description of the property and the name(s) in which it was assessed are as follows: Certificate Number: 21-012554 Year of Issuance 2021 Description of Property LEHIGH ACRES REPLAT SEC 2 BLK 62 PB 26 PG 179 LOT 20 Strap Number 02-45-26-0700062.0200 Names in which assessed: CHERYL CLIFFORD All of said property being in the County of Lee, State of Florida. Unless such certificate(s) shall be redeemed according to the law the property described in such certificate(s) will be sold to the highest bidder online at www.lee.realtaxdeed.com on 08/13/2024 at 10:00 am, by Kevin C. Karnes, Lee County Clerk of the Circuit Court & Comptroller. Jun. 21, 28; Jul. 5, 12, 2024 24-02491L SAVE TIME Email your Legal Notice legal@businessobserverfl.com • Deadline Wednesday at noon • Friday Publication SARASOTA •MANATEE • HILLSBOROUGH • PASCO • PINELLAS • POLK • LEE • COLLIER •CHARLOTTE LV20906_V35
INSERTION NOTICE OF
FOR
DEED Section
F.S. Tax Deed #:2023002425 NOTICE IS HEREBY GIVEN that Day

Court & Comptroller. Jun. 21, 28; Jul. 5, 12, 2024 24-02440L

FIRST INSERTION NOTICE OF APPLICATION FOR TAX DEED Section 197.512 F.S. Tax Deed #:2024000090 NOTICE IS HEREBY GIVEN that LUIS M. MARTINEZ-CATINCHI the holder of the following certificate(s) has filed said certificate(s) for a tax deed to be issued thereon. The certificate number(s), year(s) of issuance, the description of the property and the name(s) in which it was assessed are as follows: Certificate Number: 21-028995 Year of Issuance 2021 Description of Property CHULA VISTA MANOR PB 17 PG 30 LOT 3 Strap Number 25-44-24-P402900.0030 Names in which assessed: ERICK AMARAL, Steve Hernandez

All of said property being in the County of Lee, State of Florida. Unless such certificate(s) shall be redeemed according to the law the property described in such certificate(s) will be sold to the highest bidder online at www.lee.realtaxdeed.com on 08/13/2024 at 10:00 am, by Kevin C. Karnes, Lee County Clerk of the Circuit Court & Comptroller.

Jun. 21, 28; Jul. 5, 12, 2024 24-02496L

FIRST INSERTION

NOTICE OF APPLICATION FOR TAX DEED

Section 197.512 F.S. Tax Deed #:2023002382 NOTICE IS HEREBY GIVEN that Cape Holdings Enterprises Inc the holder of the following certificate(s) has filed said certificate(s) for a tax deed to be issued thereon. The certificate number(s), year(s) of issuance, the description of the property and the name(s) in which it was assessed are as follows:

Certificate Number: 17-015760 Year of Issuance 2017 Description of Property LEHIGH ACRES UNIT 4 BLK.40 PB 15 PG 99 LOT 15 Strap Number 1345-26-04-00040.0150 Names in which assessed: A HARLAND BRADLEY, RUTH BRADLEY, SHIRLEY A BRADLEY

All of said property being in the County of Lee, State of Florida. Unless such certificate(s) shall be redeemed according to the law the property described in such certificate(s) will be sold to the highest bidder online at www.lee.realtaxdeed.com on 08/13/2024 at 10:00 am, by Kevin C. Karnes, Lee County Clerk of the Circuit Court & Comptroller.

Jun. 21, 28; Jul. 5, 12, 2024 24-02442L

FIRST INSERTION NOTICE OF APPLICATION FOR TAX DEED Section 197.512 F.S. Tax Deed #:2023002383 NOTICE IS HEREBY GIVEN that Cape Holdings Enterprises Inc the holder of the following certificate(s) has filed said certificate(s) for a tax deed to be issued thereon. The certificate number(s), year(s) of issuance, the description of the property and the name(s) in which it was assessed are as follows: Certificate Number: 17-010550 Year of Issuance 2017 Description of Property LEHIGH ACRES UNIT 9 BLK.35 DB 252 PG 234 LOT 9 Strap Number 1944-27-09-00035.0090

Names in which assessed: GEORGE H MORRISSETTE TRUST, GEORGE H MORRISSETTE TRUST DATED JULY 29, 1994

All of said property being in the County of Lee, State of Florida. Unless such certificate(s) shall be redeemed according to the law the property described in such certificate(s) will be sold to the highest bidder online at www.lee.realtaxdeed.com on 08/13/2024 at 10:00 am, by Kevin C. Karnes, Lee County Clerk of the Circuit Court & Comptroller. Jun. 21, 28; Jul. 5, 12, 2024 24-02439L

FIRST INSERTION

NOTICE OF APPLICATION FOR TAX DEED

Section 197.512 F.S. Tax Deed #:2023002389

NOTICE IS HEREBY GIVEN that TEN EAGLES LLC the holder of the following certificate(s) has filed said certificate(s) for a tax deed to be issued thereon. The certificate number(s), year(s) of issuance, the description of the property and the name(s) in which it was assessed are as follows:

Certificate Number: 21-013280

FIRST INSERTION

NOTICE OF APPLICATION FOR TAX DEED Section 197.512 F.S.

Tax Deed #:2024000112

NOTICE IS HEREBY GIVEN that Buffalo Bill LLC the holder of the following certificate(s) has filed said certificate(s) for a tax deed to be issued thereon. The certificate number(s), year(s) of issuance, the description of the property and the name(s) in which it was assessed are as follows:

Certificate Number: 19-029675

Year of Issuance 2019 Description of Property CAPE CORAL UNIT 37 BLK 2599 PB 17 PG 25 LOTS 15 + 16 Strap Number 1144-23-C2-02599.0150

Names in which assessed:

FRANCINE O’NEILL, FRANCINE ONEILL, ROBERT J O’NEILL, ROBERT J ONEILL

All of said property being in the County of Lee, State of Florida. Unless such certificate(s) shall be redeemed according to the law the property described in such certificate(s) will be sold to the highest bidder online at www.lee.realtaxdeed.com on 08/13/2024 at 10:00 am, by Kevin C. Karnes, Lee County Clerk of the Circuit Court & Comptroller. Jun. 21, 28; Jul. 5, 12, 2024 24-02454L

FIRST INSERTION

NOTICE OF APPLICATION FOR TAX DEED

Section 197.512 F.S.

Tax Deed #:2023002413

NOTICE IS HEREBY GIVEN that Cape Holdings Enterprises Inc the holder of the following certificate(s) has filed said certificate(s) for a tax deed to be issued thereon. The certificate number(s), year(s) of issuance, the description of the property and the name(s) in which it was assessed are as follows:

Certificate Number: 18-009497

Year of Issuance 2018 Description of Property LEHIGH ACRES UNIT 6 BLK.15 DB 254 PG 85 LOT 5 Strap Number 1344-27-06-00015.0050

Names in which assessed: J J BERTALAN JR, JOSEPH J BERTALAN JR., RUTH A BERTALAN, RUTH ANNE BERTALAN

All of said property being in the County of Lee, State of Florida. Unless such certificate(s) shall be redeemed according to the law the property described in such certificate(s) will be sold to the highest bidder online at www.lee.realtaxdeed.com on 08/13/2024 at 10:00 am, by Kevin C. Karnes, Lee County Clerk of the Circuit Court & Comptroller. Jun. 21, 28; Jul. 5, 12, 2024 24-02445L

FIRST INSERTION

NOTICE OF APPLICATION FOR TAX DEED

Section 197.512 F.S.

Tax Deed #:2023002402

NOTICE IS HEREBY GIVEN that TEN EAGLES LLC the holder of the following certificate(s) has filed said certificate(s) for a tax deed to be issued thereon. The certificate number(s), year(s) of issuance, the description of the property and the name(s) in which it was assessed are as follows:

FIRST INSERTION

NOTICE OF APPLICATION FOR TAX DEED Section 197.512 F.S.

Tax Deed #:2023002386

NOTICE IS HEREBY GIVEN that TEN EAGLES LLC the holder of the following certificate(s) has filed said certificate(s) for a tax deed to be issued thereon. The certificate number(s), year(s) of issuance, the description of the property and the name(s) in which it was assessed are as follows:

Certificate Number: 21-009150 Year of Issuance 2021 Description of Property LEHIGH ACRES UNIT 1 REPLT BLK 12 DB 263 PG 360 LOT 4

Strap Number 19-44-27-0100012.0040 Names in which assessed:

SANDRA GABY TANAKA SANTIBANEZ

All of said property being in the County of Lee, State of Florida. Unless such certificate(s) shall be redeemed according to the law the property described in such certificate(s) will be sold to the highest bidder online at www.lee.realtaxdeed.com on 08/13/2024 at 10:00 am, by Kevin C. Karnes, Lee County Clerk of the Circuit Court & Comptroller. Jun. 21, 28; Jul. 5, 12, 2024 24-02480L

FIRST INSERTION NOTICE OF APPLICATION FOR TAX DEED Section 197.512 F.S. Tax Deed #:2024000076

NOTICE IS HEREBY GIVEN that Cape Holdings Enterprises Inc the holder of the following certificate(s) has filed said certificate(s) for a tax deed to be issued thereon. The certificate number(s), year(s) of issuance, the description of the property and the name(s) in which it was assessed are as follows:

Certificate Number: 21-006255

Year of Issuance 2021 Description of Property LEHIGH ACRES UNIT 1 BLK.1 PB 15 PG 92 LOT 20 Strap Number 3644-26-01-00001.0200

Names in which assessed: GARY W HUFFMAN, KENNETH W HUFFMAN, MAE W HUFFMAN, SAMUEL F HUFFMAN

All of said property being in the County of Lee, State of Florida. Unless such certificate(s) shall be redeemed according to the law the property described in such certificate(s) will be sold to the highest bidder online at www.lee.realtaxdeed.com on 08/13/2024 at 10:00 am, by Kevin C. Karnes, Lee County Clerk of the Circuit Court & Comptroller. Jun. 21, 28; Jul. 5, 12, 2024 24-02471L

FIRST INSERTION

NOTICE OF APPLICATION FOR TAX DEED Section 197.512 F.S. Tax Deed #:2023002390

NOTICE IS HEREBY GIVEN that TEN EAGLES LLC the holder of the following certificate(s) has filed said certificate(s) for a tax deed to be issued thereon. The certificate number(s), year(s) of issuance, the description of the property and the name(s) in which it was assessed are as follows:

FIRST INSERTION

NOTICE OF APPLICATION FOR TAX DEED Section 197.512 F.S. Tax Deed #:2023002423

NOTICE IS HEREBY GIVEN that Day Star One LLC the holder of the following certificate(s) has filed said certificate(s) for a tax deed to be issued thereon. The certificate number(s), year(s) of issuance, the description of the property and the name(s) in which it was assessed are as follows:

Certificate Number: 21-012479

Year of Issuance 2021 Description of Property LEHIGH ACRES UNIT 2 BLK.18 PB 15 PG 94 LOT 18 Strap Number 02-45-26-02-00018.0180

Names in which assessed: RICARDO LA FONTAINE, RICARDO LAFONTAINE, YOLANDA CANOTO

All of said property being in the County of Lee, State of Florida. Unless such certificate(s) shall be redeemed according to the law the property described in such certificate(s) will be sold to the highest bidder online at www.lee.realtaxdeed.com on 08/13/2024 at 10:00 am, by Kevin C. Karnes, Lee County Clerk of the Circuit Court & Comptroller.

Jun. 21, 28; Jul. 5, 12, 2024 24-02487L

FIRST INSERTION NOTICE OF APPLICATION FOR TAX DEED Section 197.512 F.S. Tax Deed #:2024000074 NOTICE IS HEREBY GIVEN that Cape Holdings Enterprises Inc the holder of the following certificate(s) has filed said certificate(s) for a tax deed to be issued thereon. The certificate number(s), year(s) of issuance, the description of the property and the name(s) in which it was assessed are as follows: Certificate Number: 21-005894

Year of Issuance 2021 Description of Property LEHIGH ACRES UNIT 2 BLK.10 PB 15 PG 90 LOT 1 Strap Number 3444-26-02-00010.0010

Names in which assessed: EQUITY TRUST CO, EQUITY TRUST COMPANY, EQUITY TRUST COMPANY CUSTODIAN

All of said property being in the County of Lee, State of Florida. Unless such certificate(s) shall be redeemed according to the law the property described in such certificate(s) will be sold to the highest bidder online at www.lee.realtaxdeed.com on 08/13/2024 at 10:00 am, by Kevin C. Karnes, Lee County Clerk of the Circuit Court & Comptroller. Jun. 21, 28; Jul. 5, 12, 2024 24-02470L

FIRST INSERTION

NOTICE OF APPLICATION FOR TAX DEED Section 197.512 F.S.

Tax Deed #:2023002392

shall be redeemed according to the law the property described in such certificate(s) will be sold to the highest bidder online at www.lee.realtaxdeed.com on 08/13/2024 at 10:00 am, by Kevin C. Karnes, Lee County Clerk of the Circuit Court & Comptroller. Jun. 21, 28; Jul. 5, 12, 2024 24-02465L

ACRES UNIT 1 BLK 2 PB 20 PG 65 LOT 24 Strap Number 29-4527-01-00002.0240 Names in which assessed: SILVAN FOUNDATION CORPORATION All of said property being in the County of Lee, State of Florida. Unless such certificate(s) shall be redeemed according to the law the property described in such certificate(s) will be sold to the highest bidder online at www.lee.realtaxdeed.com on 08/13/2024 at 10:00 am, by Kevin C. Karnes, Lee County Clerk of the Circuit Court & Comptroller. Jun. 21, 28; Jul. 5, 12, 2024 24-02495L

Year of Issuance 2021 Description of Property LEHIGH ACRES UNIT 12 BLK 119 PB 15 PG 98 LOT 10 Strap Number 1245-26-12-00119.0100 Names in which assessed: MWEI All of said property being in the County of Lee, State of Florida. Unless such certificate(s) shall be redeemed according to the law the property described in such certificate(s) will be sold to the highest bidder online at www.lee.realtaxdeed.com on 08/13/2024 at 10:00 am, by Kevin C. Karnes, Lee County Clerk of the Circuit Court & Comptroller. Jun. 21, 28; Jul. 5, 12, 2024 24-02494L FIRST

Year of Issuance 2021 Description of Property LEHIGH ACRES UNIT 11 BLK.96 PB 15 PG 97 LOT 6 Strap Number 1145-26-11-00096.0060 Names in which assessed: Y&E GROUP, LLC All of said property being in the County of Lee, State of Florida. Unless such certificate(s) shall be redeemed according to the law the property described in such certificate(s) will be sold to the highest bidder online at www.lee.realtaxdeed.com on 08/13/2024 at 10:00 am, by Kevin C. Karnes, Lee County Clerk of the Circuit Court & Comptroller. Jun. 21, 28; Jul. 5, 12, 2024 24-02492L

Certificate Number: 21-010022 Year of Issuance 2021 Description of Property LEHIGH

ACRES UNIT 4 BLK 15 DB 254 PG 45 LOT 20 Strap Number 25-44-27-04-00015.0200

Names in which assessed: JULIO PILOTO

All of said property being in the County of Lee, State of Florida. Unless such certificate(s) shall be redeemed according to the law the property described in such certificate(s) will be sold to the highest bidder online at www.lee.realtaxdeed.com on 08/13/2024 at 10:00 am, by Kevin C. Karnes, Lee County Clerk of the Circuit Court & Comptroller. Jun. 21, 28; Jul. 5, 12, 2024 24-02485L

Certificate Number: 21-013295 Year of Issuance 2021 Description of Property LEHIGH ACRES REPLT SEC 12 BLK 11 PB 26 PG 205 LOT 5 Strap Number 12-45-26-01-00011.0050

Names in which assessed: ELIAS CASTILLO

All of said property being in the County of Lee, State of Florida. Unless such certificate(s) shall be redeemed according to the law the property described in such certificate(s) will be sold to the highest bidder online at www.lee.realtaxdeed.com on 08/13/2024 at 10:00 am, by Kevin C. Karnes, Lee County Clerk of the Circuit Court & Comptroller. Jun. 21, 28; Jul. 5, 12, 2024 24-02493L

NOTICE IS HEREBY GIVEN that TEN EAGLES LLC the holder of the following certificate(s) has filed said certificate(s) for a tax deed to be issued thereon. The certificate number(s), year(s) of issuance, the description of the property and the name(s) in which it was assessed are as follows: Certificate Number: 21-013431

20 JUNE 21 - JUNE 27, 2024 BUSINESS OBSERVER LEE COUNTY --- TAX DEEDS --FIRST INSERTION NOTICE OF APPLICATION FOR TAX DEED Section 197.512 F.S. Tax Deed #:2023002384
IS HEREBY GIVEN that Cape Holdings Enterprises Inc the holder of the following certificate(s) has filed said certificate(s) for a tax deed to be issued thereon. The certificate number(s), year(s) of issuance, the description of the property and the name(s) in which it was assessed are as follows: Certificate Number: 17-012206 Year of Issuance 2017 Description of Property LEELAND HEIGHTS UNIT NO 1 BLK 1 PB 9 PG 124 LOTS 51 + 52 Strap Number 32-44-27-0100001.0510 Names in which assessed: 563804 BC LTD, 563804 BC LTD. All of said property being in the County of Lee, State of Florida. Unless such certificate(s) shall be redeemed according to the law the property described in such certificate(s) will be sold to the highest bidder online at www.lee.realtaxdeed.com on 08/13/2024 at 10:00 am, by Kevin C. Karnes, Lee County Clerk of the Circuit
NOTICE
FIRST INSERTION
F.S. Tax Deed #:2023002424 NOTICE IS HEREBY GIVEN that Day Star One LLC the holder of the following certificate(s) has filed said certificate(s) for a tax deed to be issued thereon. The certificate number(s), year(s) of issuance, the description of the property and the name(s) in which it was assessed are as follows: Certificate Number: 21-012495 Year of Issuance 2021 Description of Property LEHIGH ACRES REPLAT SEC 2 BLK 27 PB 26 PG 177 LOT 16 Strap Number 02-45-26-0300027.0160 Names in which assessed: JOEL C LLOYD, LORNA J LLOYD All of said property being in the County of Lee, State of Florida. Unless such certificate(s) shall be redeemed according to the law the property described in such certificate(s) will be sold to the highest bidder online at www.lee.realtaxdeed.com on 08/13/2024 at 10:00 am, by Kevin C. Karnes, Lee County Clerk of the Circuit Court & Comptroller. Jun. 21, 28; Jul. 5, 12, 2024 24-02488L FIRST INSERTION NOTICE OF APPLICATION FOR TAX DEED Section 197.512 F.S. Tax Deed #:2023002377 NOTICE IS HEREBY GIVEN that Buffalo Bill LLC the holder of the following certificate(s) has filed said certificate(s) for a tax deed to be issued thereon. The certificate number(s), year(s) of issuance, the description of the property and the name(s) in which it was assessed are as follows: Certificate Number: 20-024535 Year of Issuance 2020 Description of Property LEHIGH ACRES UNIT 6 BLK 26 PB 20 PG 60 LOT 12 Strap Number 2845-27-06-00026.0120 Names in which assessed: CESAR A HERNANDEZ, CESAR A HERNANDEZ ESTATE, LOIS HERNANDEZ, LOIS MESSIANA HERNANDEZ All of said property being in the County of Lee, State of Florida. Unless such certificate(s)
NOTICE OF APPLICATION FOR TAX DEED Section 197.512
INSERTION
tax deed to be issued thereon. The certificate number(s), year(s) of issuance, the description of the property and the name(s) in which it was assessed are as follows: Certificate Number: 21-018148 Year of Issuance 2021 Description of Property LEHIGH
NOTICE OF APPLICATION FOR TAX DEED Section 197.512 F.S. Tax Deed #:2023002404 NOTICE IS HEREBY GIVEN that TEN EAGLES LLC the holder of the following certificate(s) has filed said certificate(s) for a
FIRST INSERTION NOTICE TO CREDITORS IN THE CIRCUIT COURT FOR LEE COUNTY, FLORIDA Probate Division File No. 24 CP 001255 IN RE: ESTATE OF PATRICIA BATSON IMHOFF deceased. The administration of the testate estate of PATRICIA BATSON IMHOFF, deceased, whose date of death was February 9, 2023 File Number 24 CP 001255, is pending in the Circuit Court for Lee County, Florida, Probate Division, the address of which is Lee County Justice Center, 1700 Monroe Street, 1st Floor, PO Box 9346, Fort Myers, FL 33902. The name and address of the personal representative and the personal representative’s attorney are set forth below. ALL INTERESTED PERSONS ARE NOTIFIED THAT: All creditors of the decedent and other persons having claims or demands against decedent’s estate on whom a copy of this Notice is served must file their claims with this Court WITHIN THE LATER OF THREE MONTHS AFTER THE DATE OF THE FIRST PUBLICATION OF THIS NOTICE OR THIRTY DAYS AFTER THE DATE OF SERVICE OF A COPY OF THIS NOTICE ON THEM. All other creditors of the decedent and persons having claims or demands against the decedent’s estate must file their claims with this Court WITHIN THREE MONTHS AFTER THE DATE OF THE FIRST PUBLICATION OF THIS NOTICE. ALL CLAIMS NOT SO FILED WILL BE FOREVER BARRED. NOTWITHSTANDING THE TIME PERIODS SET FORTH ABOVE, ANY CLAIM FILED TWO YEARS OR MORE AFTER THE DECEDENT’S DATE OF DEATH IS BARRED. The date of the first publication of this Notice to Creditors is June 21, 2024. Christopher J. Walsh, Sr. Personal Representative 2148 Sunrise Blvd Ft. Myers, Florida 33907 Brian J. Downey, Esq. FL Bar Number: 0017975 BARRETT McNAGNY Attorney for Personal Representative 215 East Berry Street Fort Wayne, IN 46802 (P) 260-423-8871 June 21, 28, 2024 23-02531L VIEW NOTICES ONLINE AT Legals.BusinessObserverFL.com To publish your legal notice email: legal@businessobserverfl.com
makes public notices in newspapers superior to other forms of notices?
notices in newspapers are serendipitous. When readers page through a newspaper, they will find important public notice information they otherwise would not find anywhere else.
do consumers specifically search online for public notices.
much
legal notices cost?
price for notices in the printed newspaper must include all costs for publishing the ad in print, on the newspaper’s website and to www.floridapublicnotices.com.
public is well-served by notices published in a community newspaper. LV18237_V36
What
Public
Rarely
How
do
The
The

FIRST INSERTION

NOTICE TO CREDITORS IN THE CIRCUIT COURT FOR THE TWENTIETH JUDICIAL CIRCUIT IN AND FOR LEE COUNTY, FLORIDA

PROBATE DIVISION

File No. 24-CP-1820 IN RE: ESTATE OF ROBERT R. WHITE, Deceased.

The administration of the estate of ROBERT R. WHITE, deceased, whose date of death was May 1, 2024, is pending in the Circuit Court for Lee County, Florida, Probate Division, the address of which is Lee County Justice Center, 1700 Monroe Street, Fort Myers, FL 33901. The names and addresses of the personal representative and the personal representative’s attorney are set forth below.

All creditors of the decedent and other persons having claims or demands against decedent’s estate on whom a copy of this notice is required to be served must file their claims with this court ON OR BEFORE THE LATER OF 3 MONTHS AFTER THE TIME OF THE FIRST PUBLICATION OF THIS NOTICE OR 30 DAYS AFTER THE DATE OF SERVICE OF A COPY OF THIS NOTICE ON THEM.

All other creditors of the decedent and other persons having claims or demands against decedent’s estate must file their claims with this court WITHIN 3 MONTHS AFTER THE DATE OF THE FIRST PUBLICATION OF THIS NOTICE.

ALL CLAIMS NOT FILED WITHIN THE TIME PERIODS SET FORTH IN FLORIDA STATUTES SECTION 733.702 WILL BE FOREVER BARRED.

NOTWITHSTANDING THE TIME

PERIODS SET FORTH ABOVE, ANY CLAIM FILED TWO (2) YEARS OR MORE AFTER THE DECEDENT’S DATE OF DEATH IS BARRED.

The date of first publication of this notice is June 21, 2024.

Personal Representative: S/EDWARD V. SMITH

EDWARD V. SMITH

2235 Venetian Court, Suite 5 Naples, Florida 34109

Attorney for Personal Representative: S/PATRICK COURVILLE PATRICK COURVILLE

Florida Bar Number: 115708

EDWARD E. WOLLMAN

Florida Bar Number: 618640

Attorneys for Personal Representative WOLLMAN GEHRKE & ASSOCIATES, P.A.

2235 Venetian Ct Suite 5

Naples, Florida 34109

Telephone: (239) 435-1533

Fax: (239) 435-1433

E-Mail: pcourville@wga-law.com

ewollman@wga-law.com

Secondary E-Mail: pleadings@wga-law.com

June 21, 28, 2024

FIRST INSERTION

NOTICE TO CREDITORS IN THE CIRCUIT COURT FOR LEE COUNTY, FLORIDA PROBATE DIVISION File No. 24-CP-1338 Division - Probate IN RE: ESTATE OF WILLIAM E. DAY Deceased. The administration of the estate of William E. Day deceased, whose date of death was April 1, 2024, is pending in the Circuit Court for Lee County, Florida, Probate Division, the address of which is 1700 Monroe Street, Fort Myers, Florida 33901. The names and addresses of the Personal Representative and the Personal Representative’s attorney are set forth below. All creditors of the decedent and other persons having claims or demands against decedent’s estate on whom a copy of this notice is required to be served must file their claims with this court WITHIN THE LATER OF 3 MONTHS AFTER THE TIME OF THE FIRST PUBLICATION OF THIS NOTICE OR 30 DAYS AFTER THE DATE OF SERVICE OF A COPY OF THIS NOTICE ON THEM.

FIRST INSERTION NOTICE TO CREDITORS IN THE CIRCUIT COURT FOR LEE COUNTY, FLORIDA PROBATE DIVISION File No. 24 CP 001808 IN RE: ESTATE OF LAURA L. MARTIN Deceased. The administration of the estate of Laura L. Martin, deceased, whose date of death was October 23, 2023, is pending in the Circuit Court for Lee County, Florida, Probate Division, the address of which is 1700 Monroe Street Ft. Myers, FL 33901. The names and addresses of the personal representatives and the personal representatives’ attorney are set forth below. All creditors of the decedent and other persons having claims or demands against decedent’s estate on whom a copy of this notice is required to be served must file their claims with this court ON OR BEFORE THE LATER OF 3 MONTHS AFTER THE TIME OF THE FIRST PUBLICATION OF THIS NOTICE OR 30 DAYS AFTER THE DATE OF SERVICE OF A COPY OF THIS NOTICE ON THEM. All other creditors of the decedent and other persons having claims or demands against decedent’s estate must file their claims with this court WITHIN 3 MONTHS AFTER THE DATE OF THE FIRST PUBLICATION OF THIS NOTICE.

ALL CLAIMS NOT FILED WITHIN THE TIME PERIODS SET FORTH IN FLORIDA STATUTES SECTION 733.702 WILL BE FOREVER BARRED.

NOTWITHSTANDING THE TIME PERIODS SET FORTH ABOVE, ANY CLAIM FILED TWO (2) YEARS OR MORE AFTER THE DECEDENT’S DATE OF DEATH IS BARRED.

The date of first publication of this notice is June 21, 2024.

Personal Representatives: Ashley N. Martin 1109 Mariposa Drive Austin, TX 78704 Elisa M. Hoffman 11738 Painted Peek Way Ft. Wayne, IN 46845 Attorney for Personal Representatives: LINDSAY A. ALBRIGHT Attorney for Petitioners Florida Bar Number: 1036224 Dunlap & Moran, P.A. P.O. Box 3948, Suite 300 Sarasota, Florida 34230 Telephone: (941) 366-0115 Fax: (941) 365-4660

E-Mail: lalbright@dunlapmoran.com

Secondary E-Mail: dmprobate@dunlapmoran.com

02224069-1 / 24196/1 LALBRIGHT June 21, 28, 2024 24-02503L

24-02513L FIRST INSERTION NOTICE TO CREDITORS IN THE CIRCUIT COURT FOR LEE COUNTY, FLORIDA PROBATE DIVISION FILE NO. 24-CP-001729 IN RE: ESTATE OF CARLTON PERRY HUNT, Deceased. The administration of the estate of Carlton Perry Hunt, deceased, whose date of death was March 7, 2024, is pending in the Circuit Court for LEE County, Florida, Probate Division, the address of which is 1700 Monroe Street, Fort Myers, Florida 33901. The names and addresses of the personal representative and the personal representative’s attorney are set forth below.

All creditors of the decedent and other persons having claims or demands against decedent’s estate on whom a copy of this notice is required to be served must file their claims with this court ON OR BEFORE THE LATER OF 3 MONTHS AFTER THE TIME OF THE FIRST PUBLICATION OF THIS NOTICE OR 30 DAYS AFTER THE DATE OF SERVICE OF A COPY OF THIS NOTICE ON THEM.

All other creditors of the decedent and other persons having claims or demands againstdecedent’s estate must file their claims with this court WITHIN 3 MONTHS AFTER THE DATE OF THE FIRST PUBLICATION OF THIS NOTICE. ALL CLAIMS NOT FILED WITHIN THE TIME PERIOD SET FORTH IN SECTION 733.702 OF THE FLORIDA PROBATE CODE WILL BE FOREVER BARRED. NOTWITHSTANDING THE TIME PERIODS SET FORTH ABOVE, ANY CLAIM FILED TWO (2) YEARS OR MORE AFTER THE DECEDENT’S

DATE OF DEATH IS BARRED.

The date of first publication of this notice is June 21, 2024.

Sandra Simmons 12 Desert Candle Circle Lehigh Acres, Florida 33936

Dawn L. Drellos-Thompson

Attorney for Personal Representative

Sandra Simmons

All other creditors of the decedent and other persons having claims or demands against decedent’s estate must file their claims with this court WITHIN 3 MONTHS AFTER THE DATE OF THE FIRST PUBLICATION OF THIS NOTICE.

ALL CLAIMS NOT FILED WITHIN THE TIME PERIODS SET FORTH IN FLORIDA STATUTES SECTION 733.702 WILL BE FOREVER BARRED. NOTWITHSTANDING THE TIME PERIODS SET FORTH ABOVE, ANY CLAIM FILED TWO (2) YEARS OR MORE AFTER THE DECEDENT’S DATE OF DEATH IS BARRED. The date of first publication of this notice is June 21, 2024. Robert Adamski

Personal Representative 1714 Cape Coral Parkway East Cape Coral, FL 33904

Attorney for Personal Representative: /s/ Alvaro C. Sanchez ALVARO C. SANCHEZ Attorney for Petitioner 1714 Cape Coral Parkway East Cape Coral, Florida 33904 Tel 239/542-4733 FAX 239/542-9203 FLA BAR NO. 105539

Email: alvaro@capecoralattorney.com

Email: courtfilings@capecoralattorney.com June 21, 28, 2024 24-02514L

LEE COUNTY

FIRST INSERTION

NOTICE TO CREDITORS IN THE CIRCUIT COURT FOR LEE COUNTY, FLORIDA PROBATE DIVISION FILE NO. 24-CP-001241

IN RE: ESTATE OF LEAH NICOLE BROWN, Deceased.

The administration of the estate of Leah Nicole Brown, deceased, whose date of death was December 26, 2023, is pending in the Circuit Court for LEE County, Florida, Probate Division, the address of which is 1700 Monroe Street, Fort Myers, Florida 33901. The names and addresses of the personal representative and the personal representative’s attorney are set forth below.

All creditors of the decedent and other persons having claims or demands against decedent’s estate on whom a copy of this notice is required to be served must file their claims with this court ON OR BEFORE THE LATER OF 3 MONTHS AFTER THE TIME OF THE FIRST PUBLICATION OF THIS NOTICE OR 30 DAYS AFTER THE DATE OF SERVICE OF A COPY OF THIS NOTICE ON THEM.

All other creditors of the decedent and other persons having claims or demands against decedent’s estate must file their claims with this court WITHIN 3 MONTHS AFTER THE DATE OF THE FIRST PUBLICATION OF THIS NOTICE.

ALL CLAIMS NOT FILED WITHIN THE TIME PERIODS SET FORTH IN FLORIDA STATUTES SECTION 733.702 WILL BE FOREVER BARRED.

NOTWITHSTANDING THE TIME PERIODS SET FORTH ABOVE, ANY CLAIM FILED TWO (2) YEARS OR MORE AFTER THE DECEDENT’S DATE OF DEATH IS BARRED.

The date of first publication of this notice is June 21, 2024.

Personal Representative: /s/ Chanda Stokes Chanda Stokes 5388 Montanya View Ct. Valdese, North Carolina 28690

Attorney for Personal Representative: /s/ Alvaro C. Sanchez

ALVARO C. SANCHEZ

Attorney for Petitioner 1714 Cape Coral Parkway East Cape Coral, Florida 33904

Tel 239/542-4733

FAX 239/542-9203

FLA BAR NO. 105539

Email: alvaro@capecoralattorney.com

Email: courtfilings@capecoralattorney.com June 21, 28, 2024 24-02512L

FIRST INSERTION

NOTICE TO CREDITORS IN THE CIRCUIT COURT FOR LEE COUNTY, FLORIDA PROBATE DIVISION File No. 24-CP-001922 Division Probate IN RE: ESTATE OF EDNA CAROL MAZUR Deceased.

The administration of the estate of Edna Carol Mazur, deceased, whose date of death was April 17, 2024, is pending in the Circuit Court for Lee County, Florida, Probate Division, the address of which is 1700 Monroe St, Ft. Myers, FL 33901. The names and addresses of the personal representative and the personal representative’s attorney are set forth below.

All creditors of the decedent and other persons having claims or demands against decedent’s estate on whom a copy of this notice is required to be served must file their claims with this court ON OR BEFORE THE LATER OF 3 MONTHS AFTER THE TIME OF THE FIRST PUBLICATION OF THIS NOTICE OR 30 DAYS AFTER THE DATE OF SERVICE OF A COPY OF THIS NOTICE ON THEM.

All other creditors of the decedent and other persons having claims or demands against decedent’s estate must file their claims with this court WITHIN 3 MONTHS AFTER THE DATE OF THE FIRST PUBLICATION OF THIS NOTICE.

ALL CLAIMS NOT FILED WITHIN THE TIME PERIODS SET FORTH IN FLORIDA STATUTES SECTION 733.702 WILL BE FOREVER BARRED. NOTWITHSTANDING THE TIME PERIODS SET FORTH ABOVE, ANY CLAIM FILED TWO (2) YEARS OR MORE AFTER THE DECEDENT’S DATE OF DEATH IS BARRED.

The date of first publication of this notice is June 21, 2024.

Personal Representative: /s/ Deborah Funston Deborah Funston 1403 SE 8th Place Cape Coral, Florida 33990

Attorney for Personal Representative: /s/ Eviana J. Martin

Eviana J. Martin, Attorney Florida Bar Number: 36198

Martin Law Firm, PL 3701 Del Prado Blvd S. Cape Coral, Florida 33904

Telephone: (239) 443-1094

Fax: (941) 213-1231

E-Mail:

eviana.martin@martinlawfirm.com June 21, 28, 2024 24-02533L

FIRST INSERTION NOTICE TO CREDITORS IN THE CIRCUIT COURT FOR LEE COUNTY, FLORIDA PROBATE DIVISION File No.24-CP-001810 IN RE: ESTATE OF GEORGE ANSELMO PARSON, JR. Deceased.

The administration of the estate of GEORGE ANSELMO PARSON, JR., deceased, whose date of death was March 2, 2024, is pending in the Circuit Court for Lee County, Florida, Probate Division; File Number 24-CP-001810; the address of which is 1700 Monroe St., Ft. Myers, Florida 33901. The names and addresses of the personal representative(s) and the personal representative(s)’ attorney are set forth below.

All creditors of the decent and other persons, who have claims or demands against decedent’s estate, including unmature, contingent or unliquidated claims, and who have been served a copy of this notice, must file their claims with this court WITHIN THE LATER OF THREE (3) MONTHS AFTER THE DATE OF THE FIRST PUBLICATION OF THIS NOTICE OR THIRTY (30) DAYS AFTER THE DATE OF SERVICE OF A COPY OF THIS NOTICE ON THEM.

All other creditors of the decedent and other persons who have claims or demands against the decedent’s estate, including unmatured, contingent or unliquidated claims, must file their claims with this court WITHIN THREE (3) MONTHS AFTER THE DATE OF THE FIRST PUBLICATION OF THIS NOTICE.

ALL CLAIMS NOT SO FILED WILL BE FOREVER BARRED.

NOTWITHSTANDING THE TIME PERIODS SET FORTH ABOVE, ANY CLAIM FILED TWO (2) YEARS OR MORE AFTER THE DECEDENT’S DATE OF DEATH IS BARRED.

THE DATE OF FIRST PUBLICATION OF THIS NOTICE IS June 21, 2024.

Personal Representative(s)

George Anthony Parson 33 Roberson Drive Cartersville, GA 30121

Attorney(s) for Personal Representative(s)

Alfredo Garcia-Menocal, Esq.

Florida Bar No. 53360

350 Sevilla Ave., Suite 200, Coral Gables, FL 33134 agmlaw@bellsouth.net

Phone: 305-553-3464

June 21, 28, 2024 24-02511L

FIRST INSERTION NOTICE TO CREDITORS IN THE CIRCUIT COURT FOR LEE COUNTY, FLORIDA PROBATE DIVISION File No. 24-CP-001333 Division Probate IN RE: ESTATE OF RICHARD WILLIAM WILLIS, Deceased.

The administration of the estate of Richard William Willis, deceased, whose date of death was April 2, 2024, is pending in the Circuit Court for Lee County, Florida, Probate Division, the address of which is Circuit Court for Lee County, 1700 Monroe Street, Fort Myers, FL 33901. The names and addresses of the personal representative and the personal representative’s attorney are set forth below.

All creditors of the decedent and other persons having claims or demands against decedent’s estate on whom a copy of this notice is required to be served must file their claims with this court ON OR BEFORE THE LATER OF 3 MONTHS AFTER THE TIME OF THE FIRST PUBLICATION OF THIS NOTICE OR 30 DAYS AFTER THE DATE OF SERVICE OF A COPY OF THIS NOTICE ON THEM.

All other creditors of the decedent and other persons having claims or demands against decedent’s estate must file their claims with this court WITHIN 3 MONTHS AFTER THE DATE OF THE FIRST PUBLICATION OF THIS NOTICE.

ALL CLAIMS NOT FILED WITHIN THE TIME PERIODS SET FORTH IN FLORIDA STATUTES SECTION 733.702 WILL BE FOREVER BARRED.

NOTWITHSTANDING THE TIME PERIOD SET FORTH ABOVE, ANY CLAIM FILED TWO (2) YEARS OR MORE AFTER THE DECEDENT’S DATE OF DEATH IS BARRED.

The date of first publication of this notice is June 21, 2024.

Personal Representative: DocuSigned by: David Richard Willis David Richard Willis 26 El Potro Rancho Santa Margarita, CA 92688

Attorney for Personal Representative: /s/ Jeffrey A. Attia

Jeffrey A. Attia

E-Mail Address:

jeff@jeffreyattialaw.com

Florida Bar No. 0108199

The Law Office of Jeffrey Attia, PA 6719 Winkler Road, Suite 114 Fort Myers,

FIRST INSERTION

NOTICE TO CREDITORS IN THE CIRCUIT COURT FOR LEE COUNTY, FLORIDA PROBATE DIVISION File No. 24-CP-001484 IN RE: ESTATE OF GERI DREDGER GEIS a/k/a GERALDINE PATRICIA ANNE GEIS, Deceased.

The administration of the estate of GERI DREDGER GEIS a/k/a GERALDINE PATRICIA ANNE GEIS, deceased, whose date of death was September 28, 2023, is pending in the Circuit Court for Lee County, Florida, Probate Division, the address of which is P.O. Box 9346, Fort Myers, FL 33902. The names and addresses of the personal representative and the personal representative’s attorney are set forth below.

All creditors of the decedent and other persons having claims or demands against decedent’s estate on whom a copy of this notice is required to be served must file their claims with this court ON OR BEFORE THE LATER OF 3 MONTHS AFTER THE TIME OF THE FIRST PUBLICATION OF THIS NOTICE OR 30 DAYS AFTER THE DATE OF SERVICE OF A COPY OF THIS NOTICE ON THEM.

All other creditors of the decedent and other persons having claims or demands against decedent’s estate must file their claims with this court WITHIN 3 MONTHS AFTER THE DATE OF THE FIRST PUBLICATION OF THIS NOTICE.

ALL CLAIMS NOT FILED WITHIN THE TIME PERIODS SET FORTH IN FLORIDA STATUTES SECTION 733.702 WILL BE FOREVER BARRED. NOTWITHSTANDING THE TIME PERIOD SET FORTH ABOVE, ANY CLAIM FILED TWO (2) YEARS OR MORE AFTER THE DECEDENT’S DATE OF DEATH IS BARRED.

The date of first publication of this notice is June 21, 2024. Personal Representative: STACEY PUTNAM GEIS 45 Clark Dr. San Mateo, CA 94401

Attorney for Personal Representative: HELEN MENA, ESQ. Florida Bar No. 1039520

Safe Harbor Law Firm 27821 S. Tamiami Trail, Suite 2 Bonita Springs, FL 34134

Telephone: (239) 317-3116

Email: helen@safeharborlawfirm.com June 21, 28, 2024 24-02520L

FIRST INSERTION NOTICE TO CREDITORS IN THE CIRCUIT COURT FOR LEE COUNTY, FLORIDA PROBATE DIVISION File No. 24-CP-001887 Division: Probate IN RE: ESTATE OF BRUCE E. UPTON, Deceased.

The administration of the Estate of Bruce E. Upton, deceased, whose date of death was December 12, 2023, is pending in the Circuit Court for Lee County, Florida, Probate Division, the address of which is P.O. Box 9346, Fort Myers, FL 33902-9346. The names and addresses of the Personal Representative and the Personal Representative’s attorney are set forth below.

All creditors of the Decedent and other persons having claims or demands against the Decedent’s Estate on whom a copy of this Notice is required to be served must file their claims with this Court WITHIN THE LATER OF 3 MONTHS AFTER THE TIME OF THE FIRST PUBLICATION OF THIS NOTICE OR 30 DAYS AFTER THE DATE OF SERVICE OF A COPY OF THIS NOTICE ON THEM.

All other creditors of the Decedent and other persons having claims or demands against the Decedent’s Estate must file their claims with this Court WITHIN 3 MONTHS AFTER THE DATE OF THE FIRST PUBLICATION OF THIS NOTICE. ALL CLAIMS NOT FILED WITHIN THE TIME PERIODS SET FORTH IN SECTION 733.702 OF THE FLORIDA PROBATE CODE WILL BE FOREVER BARRED.

NOTWITHSTANDING THE TIME PERIODS SET FORTH ABOVE, ANY CLAIM FILED TWO (2) YEARS OR MORE AFTER THE DECEDENT’S DATE OF DEATH IS BARRED.

The date of first publication of this Notice is June 21, 2024.

Personal Representative: Paul A. Upton 28 Spencers Crossing St. Peters, MO 63376

Attorney for Personal Representative: Kevin A. Kyle

Attorney for Personal Representative Florida Bar Number: 980595 GREEN SCHOENFELD & KYLE LLP

1380 Royal Palm Square Boulevard Fort Myers, Florida 33919

Telephone: (239) 936-7200

Fax: (239) 936-7997

E-Mail: kevinkyle@gskattorneys.com

00970771.DOC/1 June 21, 28, 2024 24-02541L

FIRST INSERTION NOTICE TO CREDITORS IN THE CIRCUIT COURT FOR LEE COUNTY, FLORIDA PROBATE DIVISION File No. 24-CP-1858 IN

which is 2075 Dr. Martin Luther King Jr. Blvd., Fort Myers, Florida 33901. The names and addresses of the personal representative and the personal representative’s attorney are set forth below. All creditors of the decedent and other persons having claims or demands against decedent’s estate on whom a copy of this notice is required to be served must file their claims with this court ON OR BEFORE THE LATER OF 3 MONTHS AFTER THE TIME OF THE FIRST PUBLICATION OF THIS NOTICE OR 30 DAYS AFTER THE DATE OF SERVICE OF A COPY OF THIS NOTICE ON THEM. All other creditors of the decedent and other persons having claims or demands against decedent’s estate must file their claims with this court WITHIN 3 MONTHS AFTER THE DATE OF THE FIRST PUBLICATION OF THIS NOTICE. ALL CLAIMS NOT FILED WITHIN THE TIME PERIODS SET FORTH IN FLORIDA STATUTES SECTION 733.702 WILL BE FOREVER BARRED. NOTWITHSTANDING THE TIME PERIODS SET FORTH ABOVE, ANY CLAIM FILED TWO (2) YEARS OR MORE AFTER THE DECEDENT’S DATE OF DEATH IS BARRED. The date of first publication of this notice is June 21, 2024.

Personal Representative: /s/ Christian F. Salvatore Christian F. Salvatore Attorney for Personal

CREDITORS (Summary Administration) IN THE CIRCUIT COURT FOR LEE COUNTY, FLORIDA PROBATE DIVISION File No. 24-CP-001787 Division Probate IN RE: ESTATE OF JUANITA C. RIGGINS Deceased. TO ALL PERSONS HAVING CLAIMS OR DEMANDS AGAINST THE ABOVE ESTATE: You are hereby notified that an Order of Summary Administration has been entered in the estate of Juanita C. Riggins, deceased, by the Circuit Court for Lee County, Florida, Probate Division, the address of which is PO Box 9346, Fort Myers, FL 33902; that the decedent’s date of death was February 5, 2024; that the total value of the estate is Exempt Homestead and $100 and that the names and addresses of those to whom it has been assigned by such order are:

Name Address Jesse Riggins 1721 Banaghen Way Melbourne, Florida 32940 Elliot Riggins 162 Peerless Street Lehigh Acres, Florida 33974 ALL INTERESTED PERSONS ARE NOTIFIED THAT: All creditors of the estate of the decedent and persons having claims or demands against the estate of the decedent other than those for whom provision for full payment was made in the Order of Summary Administration must file their claims with this court WITHIN THE TIME PERIODS SET FORTH IN FLORIDA STATUTES SECTION 733.702. ALL CLAIMS AND DEMANDS NOT SO FILED WILL BE FOREVER BARRED. NOTWITHSTANDING ANY OTHER APPLICABLE TIME PERIOD, ANY CLAIM FILED TWO (2) YEARS OR MORE AFTER THE DECEDENT’S DATE

21 JUNE 21 - JUNE 27, 2024 BusinessObserverFL.com
--- ESTATE ---
Florida Bar No. 22503 9990 Coconut Road, Suite 210 Bonita Springs, FL 34135 Phone: 239-390-1295 Email: dawn@compass.legal June 21, 28, 2024 24-02515L
FL 33919 Telephone: 239-919-2318 June 21, 28, 2024 24-02534L
death
2024
Lee
RE: ESTATE OF AMELIA BARBARA SALVATORE Deceased. The administration of the estate of Amelia Barbara Salvatore deceased, whose date of
was April 4,
is pending in the Circuit Court for
County, Florida, Probate Division, the address of
Representative: /s/Ann T. Frank Ann T. Frank Email Address: annfranklaw@yahoo.com Florida Bar No. 0888370 2124 S. Airport Road Suite 102 Naples, Florida 34112 June 21, 28, 2024 23-02532L FIRST INSERTION NOTICE TO
IS BARRED.
date
is June 21, 2024.
Giving Notice: Jesse Riggins 1721 Banaghen Way Melbourne, Florida 33916 Elliot Riggins 162 Peerless Street Lehigh Acres, Florida 33974 Attorney for Persons Giving Notice Douglas A. Dodson, II Attorney Florida Bar Number: 126439 DORCEY LAW FIRM PLC 10181 Six Mile Cypress Parkway, Ste C Fort Myers, Florida 33966 Telephone: (239) 418-0169 Fax: (239) 418-0048 E-Mail: douglas@dorceylaw.com Secondary E-Mail: probate@dorceylaw.com June 21, 28, 2024 24-02547L
OF DEATH
The
of first publication of this Notice
Persons

FIRST INSERTION

NOTICE TO CREDITORS IN THE CIRCUIT COURT FOR LEE COUNTY, FLORIDA

PROBATE DIVISION

File No. 24-CP-1899

IN RE: ESTATE OF PETER KNOWLER

Deceased.

The administration of the estate of PETER KNOWLER, deceased, whose date of death was March 31, 2024, is pending in the Circuit Court for Lee County, Florida, Probate Division, the address of which is Post Office Box 9346, Fort Myers, Florida 33902. The names and addresses of the personal representative and the personal representative’s attorney are set forth below. All creditors of the decedent and other persons having claims or demands against decedent’s estate on whom a copy of this notice is required to be served must file their claims with this court ON OR BEFORE THE LATER OF 3 MONTHS AFTER THE TIME OF THE FIRST PUBLICATION OF THIS NOTICE OR 30 DAYS AFTER THE DATE OF SERVICE OF A COPY OF THIS NOTICE ON THEM. All other creditors of the decedent and other persons having claims or demands against decedent’s estate must file their claims with this court WITHIN 3 MONTHS AFTER THE DATE OF THE FIRST PUBLICATION OF THIS NOTICE. ALL CLAIMS NOT FILED WITHIN THE TIME PERIODS SET FORTH IN FLORIDA STATUTES SECTION 733.702 WILL BE FOREVER BARRED. NOTWITHSTANDING THE TIME PERIODS SET FORTH ABOVE, ANY CLAIM FILED TWO (2) YEARS OR MORE AFTER THE DECEDENT’S DATE OF DEATH IS BARRED.

The date of first publication of this notice is June 21, 2024.

Personal Representative:

COREY KNOWLER 24241 Branchwood Court Lutz, Florida 33559

Attorney for Personal Representative:

D. HUGH KINSEY, JR.

Florida Bar Number: 961213

Sheppard Law Firm, P.A. 9100 College Pointe Court Fort Myers, FL 33919

Telephone: (239) 334-1141

Fax: (239) 334-3965

E-Mail: kinsey@sbshlaw.com

Secondary E-Mail: hking@sbshlaw.com

June 21, 28, 2024 24-02540L

FIRST INSERTION

NOTICE TO CREDITORS IN THE CIRCUIT COURT OF THE TWENTIETH JUDICIAL CIRCUIT IN AND FOR LEE COUNTY, FLORIDA

PROBATE DIVISION Case No. 24-CP-001239 IN RE: ESTATE OF BRUCE ADAMS WHEELER, A.K.A. BRUCE WHEELER Deceased.

TO: ALL PERSONS HAVING CLAIMS OR DEMANDS AGAINST THE ABOVE ESTATE

The administration of the Bruce Adams Wheeler, deceased, whose date of death was January 17, 2023, is pending in the Circuit Court for Lee County, Florida, Probate Division, the address of which 1700 Monroe Street, Fort Myers, Florida 33901. The names and addresses of the Personal Representative and the Personal Representatives’ attorney are set forth below. All creditors of the decedent and other persons having claims or demands against decedent’s estate on whom a copy of this notice has been served must file their claims with this Court WITHIN THE LATER OF THREE (3) MONTHS AFTER THE TIME OF THE FIRST PUBLICATION OF THIS NOTICE OR THIRTY (30) DAYS AFTER THE DATE OF SERVICE OF A COPY OF THIS NOTICE ON THEM. All other creditors of the decedent and other persons having claims or demands against decedent’s estate must file their claims with this Court WITHIN 3 MONTHS AFTER THE DATE OF THE FIRST PUBLICATION OF THIS NOTICE. ALL CLAIMS NOT FILED WITHIN THE TIME PERIODS SET FORTH IN SECTION 733.702 OF THE FLORIDA PROBATE CODE WILL BE FOREVER BARRED. Notwithstanding the time period set forth above, any claim filed two (2) years or more after the decedent’s date of death is barred.

The date of first publication of this notice is June 21, 2024.

Janet Davenport

Personal Representative 11981 Simpson Road Clarksville, MD 21029

Caleb W. Pringle, Esquire

Attorney for Personal Representative

Florida Bar Number: 118863

Richard W. Pringle, P.A.

2125 First Street, Suite 200 Fort Myers, FL 33901

Phone: (239) 332-4717

Fax: (239) 332-4718

Email:

caleb@strayhornandstrayhornlaw.com

Second Email: kristine@strayhornandstrayhornlaw.

com June 21, 28, 2024 24-02545L

FIRST INSERTION NOTICE TO CREDITORS IN THE CIRCUIT COURT FOR THE 20TH JUDICIAL CIRCUIT IN AND FOR LEE COUNTY, FLORIDA PROBATE DIVISION File No. 24-CP-1892 Division PROBATE IN RE: ESTATE OF NANCY K. PHILLIPS, Deceased. The administration of the estate of Nancy K. Phillips, deceased, File Number 24-CP-1892, is pending in the Circuit Court for LEE, County, Florida, Probate Division, the address of which is 2075 Dr Martin Luther King Jr Blvd., Ft. Myers, FL 33901. The name and addresses of the personal representative and the personal representative’s attorney are set forth below. All creditors of the decedent and other persons having claims or demands against decedent’s estate, including unmatured, contingent or unliquidated claims, on whom a copy of this notice is served must file their claims with this court WITHIN THE LATER OF 3 MONTHS AFTER THE DATE OF THE FIRST PUBLICATION OF THIS NOTICE OR 30 DAYS AFTER THE DATE OF SERVICE OF A COPY OF THIS NOTICE ON THEM.

All other creditors of the decedent and other persons having claims or demands against decedent’s estate, including unmatured, contingent or unliquidated claims, must file their claims with this court WITHIN 3 MONTHS AFTER THE DATE OF THE FIRST PUBLICATION OF THIS NOTICE. ALL CLAIMS NOT SO FILED WITHIN THE TIME PERIODS SET FORTH IN SECTION 733.702 OF THE FLORIDA PROBATE CODE WILL BE FOREVER BARRED. NOTWITHSTANDING THE TIME PERIODS SET FORTH ABOVE, ANY CLAIM FILED TWO (2) YEARS OR MORE AFTER THE DECEDENT’S DATE OF DEATH IS BARRED. The date of first publication of this Notice is June 21, 2024.

Personal Representative: Jean D. Peraine 4666 Delsea Drive Newfield, NJ 08344 Telephone: (305) 576-1300

Attorney for Personal Representative: Sherryll Martens Dunaj Florida Bar No. 136707 2650 Biscayne Blvd Miami, FL 33137 E-mail: SDunaj@Miami-law.net June 21, 28, 2024 24-02553L

FIRST INSERTION NOTICE TO CREDITORS IN THE CIRCUIT COURT FOR LEE COUNTY, FLORIDA PROBATE DIVISION File No. 24-CP-1301 Division: Probate IN RE: ESTATE OF DONALD B. RICHARDS Deceased. The administration of the estate of Donald B. Richards, deceased, whose date of death was January 23, 2024, is pending in the Circuit Court for Lee County, Florida, Probate Division, the address of which is P.O. Box 9346, Fort Myers, FL 33902. The names and addresses of the personal representative and the personal representative’s attorney are set forth below.

All creditors of the decedent and other persons having claims or demands against decedent’s estate on whom a copy of this notice is required to be served must file their claims with this court ON OR BEFORE THE LATER OF 3 MONTHS AFTER THE TIME OF THE FIRST PUBLICATION OF THIS NOTICE OR 30 DAYS AFTER THE DATE OF SERVICE OF A COPY OF THIS NOTICE ON THEM.

All other creditors of the decedent and other persons having claims or demands against decedent’s estate must file their claims with this court WITHIN 3 MONTHS AFTER THE DATE OF THE FIRST PUBLICATION OF THIS NOTICE.

ALL CLAIMS NOT FILED WITHIN THE TIME PERIODS SET FORTH IN FLORIDA STATUTES SECTION 733.702 WILL BE FOREVER BARRED. NOTWITHSTANDING THE TIME PERIODS SET FORTH ABOVE, ANY CLAIM FILED TWO (2) YEARS OR MORE AFTER THE DECEDENT’S DATE OF DEATH IS BARRED.

The date of first publication of this notice is June 21, 2024.

Personal Representatives: Emily Richards Miller a/k/a Emily Lara Miller 221 Chadwick Ln Helena, AL 35080

K. Beth Leigeber a/k/a Beth Richards Leigeber 115 Thoroughbred Trl Madison, AL 35758

Attorney for Personal Representatives: Michael B. Hill, Attorney Florida Bar Number: 547824 Sheppard Law Firm 9100 College Pointe Court Fort Myers, FL 33919

Telephone: (239) 334-1141

Fax: (239) 334-3965

E-Mail: hill@sbshlaw.com Secondary E-Mail: abalcer@sbshlaw.com June 21, 28, 2024 24-02536L

FIRST INSERTION NOTICE TO CREDITORS IN THE CIRCUIT COURT FOR LEE COUNTY, FLORIDA PROBATE DIVISION File No. 24-CP-1322 Division Probate IN RE: ESTATE OF DONNA L. METERKO Deceased.

The administration of the estate of Donna L. Meterko, deceased, whose date of death was January 25, 2024, is pending in the Circuit Court for Lee County, Florida, Probate Division, the address of which is P.O. Box 9346, Fort Myers, FL 33902. The names and addresses of the personal representative and the personal representative’s attorney are set forth below.

All creditors of the decedent and other persons having claims or demands against decedent’s estate on whom a copy of this notice is required to be served must file their claims with this court ON OR BEFORE THE LATER OF 3 MONTHS AFTER THE TIME OF THE FIRST PUBLICATION OF THIS NOTICE OR 30 DAYS AFTER THE DATE OF SERVICE OF A COPY OF THIS NOTICE ON THEM.

All other creditors of the decedent and other persons having claims or demands against decedent’s estate must file their claims with this court WITHIN 3 MONTHS AFTER THE DATE OF THE FIRST PUBLICATION OF THIS NOTICE.

ALL CLAIMS NOT FILED WITHIN THE TIME PERIODS SET FORTH IN FLORIDA STATUTES SECTION 733.702 WILL BE FOREVER BARRED.

NOTWITHSTANDING THE TIME PERIODS SET FORTH ABOVE, ANY CLAIM FILED TWO (2) YEARS OR MORE AFTER THE DECEDENT’S DATE OF DEATH IS BARRED.

The date of first publication of this notice is June 21, 2024.

Personal Representative: Frank J. Meterko 7669 Calistoble Loop, Unit 340 Fort Myers, FL 33907

Attorney for Personal Representative: Douglas A. Dodson, II Florida Bar Number: 126439

DORCEY LAW FIRM PLC 10181 Six Mile Cypress Parkway, Ste C Fort Myers, Florida 33966

Telephone: (239) 418-0169

Fax: (239) 418-0048

E-Mail: douglas@dorceylaw.com

Secondary E-Mail: probate@dorceylaw.com June 21, 28, 2024 24-02546L

FIRST INSERTION

NOTICE TO CREDITORS IN THE CIRCUIT COURT FOR LEE COUNTY, FLORIDA PROBATE DIVISION File No. 2024-CP-1432 Division Probate IN RE: ESTATE OF LUELLA R. BREDHOLD, Deceased.

The administration of the estate of LUELLA R. BREDHOLD, deceased, whose date of death was February 16, 2024, is pending in the Circuit Court for Lee County, Florida, Probate Division, the address of which is 2075 Dr. Martin Luther King Blvd., Fort Myers, FL 33901. The names and addresses of the personal representative and the personal representative’s attorney are set forth below.

All creditors of the decedent and other persons having claims or demands against decedent’s estate on whom a copy of this notice is required to be served must file their claims with this court WITHIN THE LATER OF 3 MONTHS AFTER THE TIME OF THE FIRST PUBLICATION OF THIS NOTICE OR 30 DAYS AFTER THE DATE OF SERVICE OF A COPY OF THIS NOTICE ON THEM.

All other creditors of the decedent and other persons having claims or demands against decedent’s estate must file their claims with this court WITHIN 3 MONTHS AFTER THE DATE OF THE FIRST PUBLICATION OF THIS NOTICE.

ALL CLAIMS NOT FILED WITHIN THE TIME PERIODS SET FORTH IN SECTION 733.702 OF THE FLORIDA PROBATE CODE WILL BE FOREVER BARRED.

NOTWITHSTANDING THE TIME PERIODS SET FORTH ABOVE, ANY CLAIM FILED TWO (2) YEARS OR MORE AFTER THE DECEDENT’S DATE OF DEATH IS BARRED.

The date of first publication of this notice is June 21, 2024.

Personal Representative: Edward Leaffer

P.O. Box 208 Matlacha, FL 33993

Attorney for Personal Representative: Pamela D. Keller, Esquire

Attorney for Personal Representative Florida Bar Number: 082627

Keller Law Office, P.A.

201 W. Marion Avenue, Suite 1209

Punta Gorda, Florida 33950

Telephone: (941) 505-2555

Fax: (941) 505-2355

E-Mail: Administrator@kellerlaw.biz June 21, 28, 2024 24-02521L

FIRST INSERTION NOTICE TO CREDITORS IN THE CIRCUIT COURT FOR LEE COUNTY, FLORIDA PROBATE DIVISION

File No. 24-CP-1886

Division: Probate IN RE: ESTATE OF MARILYN JOANNE STEVENS A/K/A M. JOANNE STEVENS Deceased.

The administration of the estate of Marilyn Joanne Stevens a/k/a M. Joanne Stevens, deceased, whose date of death was May 3, 2024, is pending in the Circuit Court for Lee County, Florida, Probate Division, the address of which is P.O. Box 9346, Fort Myers, FL 33902-9346. The names and addresses of the personal representative and the personal representative’s attorney are set forth below.

All creditors of the decedent and other persons having claims or demands against decedent’s estate on whom a copy of this notice is required to be served must file their claims with this court ON OR BEFORE THE LATER OF 3 MONTHS AFTER THE TIME OF THE FIRST PUBLICATION OF THIS NOTICE OR 30 DAYS AFTER THE DATE OF SERVICE OF A COPY OF THIS NOTICE ON THEM.

All other creditors of the decedent and other persons having claims or demands against decedent’s estate must file their claims with this court WITHIN 3 MONTHS AFTER THE DATE OF THE FIRST PUBLICATION OF THIS NOTICE.

ALL CLAIMS NOT FILED WITHIN THE TIME PERIODS SET FORTH IN FLORIDA STATUTES SECTION 733.702 WILL BE FOREVER BARRED.

NOTWITHSTANDING THE TIME PERIODS SET FORTH ABOVE, ANY CLAIM FILED TWO (2) YEARS OR MORE AFTER THE DECEDENT’S DATE OF DEATH IS BARRED.

The date of first publication of this notice is June 21, 2024.

Co-Personal Representative: Susan J. Lummis 1 Rosedale Brook Ct. The Woodlands, Texas 77381

Co-Personal Representative: Melissa J. Delaney 17142 W. 161st St. Olathe, KS 66062

Co-Personal Representative: Mark A. Stevens 26480 Summer Greens Dr. Bonita Springs, Florida 34135

Attorney for Co-Personal Representatives:

James E. Kerr, Attorney Florida Bar Number: 521728 Henderson, Franklin, Starnes & Holt, P.A.

3451 Bonita Bay Boulevard Suite 206 Bonita Springs, FL 34134

Telephone: (239) 344-1130

Fax: (239) 294-3731

E-Mail: james.kerr@henlaw.com

Secondary E-Mail: becky.defrancesco@henlaw.com

June 21, 28, 2024 24-02537L

FIRST INSERTION

CLERK’S NOTICE OF SALE IN THE COUNTY COURT OF THE TWENTIETH JUDICIAL CIRCUIT IN AND FOR LEE COUNTY, FLORIDA CIVIL ACTION CASE NO. 2023-CC-006991 LINDSFORD NEIGHBORHOOD II HOMEOWNERS’ ASSOCIATION, INC., Plaintiff, v. BRANDON FRANK LOPEZ AND CHELSEA LOPEZ, Defendants.

NOTICE IS HEREBY given that pursuant to a Final Summary Judgement in foreclosure filed in the above-entitled cause in the County Court of the Twentieth Judicial Circuit in and for Lee County, Florida, I will sell at a public sale to the highest bidder in cash, in accordance with Section 45.031, Florida Statutes, using the method of electronic sale beginning at 9:00 a.m. at www.lee. realforeclose.com in accordance with Chapter 45, Florida Statutes on July 11, 2024, that certain parcel of real property situated in Lee County, Florida, described as follows: Lot 455, Lindsford Phase 2A, according to the Plat thereof as recorded in Official Records Instrument No. 2016000181290, of the Public Records of Lee County, Florida. Any person claiming an interest in the surplus from the sale, if any, other than the property owner as of the date of the Lis Pendens must file a claim in accordance with Florida Statutes, Section 45.031.

DATED this day of 06/14/2024

KEVIN KARNES, CLERK County and Circuit Court of Lee County (SEAL) By: N. Watson Deputy Clerk Colby L. Keefe, Esq. Henderson, Franklin, Starnes & Holt, P.A. P.O. Box 280 Fort Myers, Florida 33902-0280 Counsel for Plaintiff June 21, 28, 2024 24-02508L

FIRST INSERTION

NOTICE OF SALE PURSUANT TO CHAPTER 45 IN THE CIRCUIT COURT OF THE TWENTIETH JUDICIAL CIRCUIT IN AND FOR LEE COUNTY, FLORIDA CIVIL ACTION CASE NO.: 36-2023-CA-005224

U.S. BANK NATIONAL ASSOCIATION, Plaintiff, vs. BRYAN SPARLING, et al, Defendant(s). NOTICE IS HEREBY GIVEN Pursuant to a Final Judgment of Foreclosure dated May 17, 2024, and entered in Case No. 36-2023-CA-005224 of the Circuit Court of the Twentieth Judicial Circuit in and for Lee County, Florida in which U.S. Bank National Association, is the Plaintiff and Bryan Sparling; Melanie Sparling; Florida Housing Finance Corporation; are defendants, the Lee County Clerk of the Circuit Court will sell to the highest and best bidder for cash in/on www.lee.realforeclose.com in accordance with chapter 45 Florida Statutes, Lee County, Florida at 9:00am on the 11th day of July, 2024, the following described property as set forth in said Final Judgment of Foreclosure: LOTS 21 AND 22, BLOCK 1078, CAPE CORAL UNIT 23, ACCORDING TO THE PLAT THEREOF AS RECORDED IN PLAT BOOK 14, PAGES 39 THROUGH 52, INCLUSIVE, IN THE PUBLIC RECORDS OF LEE COUNTY, FLORIDA. A/K/A 608 SE 2ND PLACE CAPE CORAL FL 33990

Any person claiming an interest in the surplus from the sale, if any, other than the property owner as of the date of the Lis Pendens must file a claim before the Clerk reports the surplus as unclaimed. Dated in Lee County, Florida this day of 06/14/2024

Kevin C. Karnes Clerk of the Circuit Court Lee County, Florida (SEAL) By: N. Watson Deputy Clerk Albertelli Law Attorney for Plaintiff P.O. Box 23028 Tampa, FL 33623 (813) 221-4743 (813) 221-9171 facsimile eService: servealaw@albertellilaw.com

CT- 22-004223 June 21, 28, 2024 24-02507L

FIRST INSERTION

NOTICE OF ACTION IN THE CIRCUIT COURT OF THE TWENTIETH JUDICIAL CIRCUIT IN AND FOR LEE COUNTY, FLORIDA CASE NO.: 24-CA-003950 HOMESTEAD ASPIRATIONS LLC, Plaintiff, v. CARLOS E. GONZALEZ, and MARTHA E. DE GONZALEZ, Defendants.

TO: CARLOS E. GONZALEZ

P.O. BOX 313

HATO REY, PR 00919

MARTHA E. DE GONZALEZ

P.O. BOX 313

HATO REY, PR 00919 YOU ARE NOTIFIED that an action to quiet title on the following property in Lee County, Florida: THE FOLLOWING DESCRIBED LAND, SITUATE, LYING, AND BEING IN LEE COUNTY, FLORIDA, TO WIT: Lot 60-61, Block 2600, Unit 37, CAPE CORAL, according to the plat thereof recorded in Plat Book 17, Page 15-29, of the Public Records of Lee County, Florida. has been filed against you and that you are required to serve a copy of your written defenses, if any, to it on The Law Office of C.W. Wickersham, Jr., P.A., Plaintiff’s attorney, at 2720 Park Street, Suite 205, Jacksonville, Florida, 32205, Phone Number: (904) 3896202, not less than 28 days of the first date of publication of this Notice, and file the original with the Clerk of this Court, at 2075 Dr. Martin Luther King Jr. Blvd, Fort Myers, Florida 33901 before service on Plaintiff or immediately thereafter. If you fail to do so, a Default may be entered against you for the relief demanded in the Complaint.

DATED this 18th day of June, 2024. Kevin C. Karnes Clerk of the Circuit Court (SEAL) By: K. Harris As Deputy Clerk The Law Office of C.W. Wickersham, Jr., P.A., Plaintiff’s attorney, 2720 Park Street, Suite 205, Jacksonville, Florida, 32205, Phone Number: (904) 389-6202 Jun. 21, 28; Jul. 5, 12, 2024 24-02539L

FIRST INSERTION NOTICE OF FORECLOSURE SALE IN THE CIRCUIT COURT OF THE TWENTIETH JUDICIAL CIRCUIT IN AND FOR LEE COUNTY, FLORIDA GENERAL JURISDICTION DIVISION Case No. 22-CA-002324 Regions Bank d/b/a Regions Mortgage, Plaintiff, vs. Katherine Urra, et al., Defendants.

NOTICE IS HEREBY GIVEN pursuant to the Final Judgment and/or Order Rescheduling Foreclosure Sale, entered in Case No. 22-CA-002324 of the Circuit Court of the TWENTIETH Judicial Circuit, in and for Lee County, Florida, wherein Regions Bank d/b/a Regions Mortgage is the Plaintiff and Katherine Urra; United States of America on behalf of the Secretary of Housing and Urban Development ; Eustolia Ponce De leon are the Defendants, that I will sell to the highest and best bidder for cash at, www.lee.realforeclose.com, beginning at 09:00 AM on the 11th day of July, 2024, the following described property as set forth in said Final Judgment, to wit: LOT 4, BLOCK 2, WEDGEWOOD, SECTION 30 AND 31, TOWNSHIP 44 SOUTH, RANGE 27 EAST, LEHIGH ACRES, ACCORDING TO THE PLAT THEREOF, AS RECORDED IN PLAT BOOK 15, PAGE 124, OF THE PUBLIC RECORDS OF LEE COUNTY, FLORIDA. TAX ID: 31-44-27-0200002.0040 Any person claiming an interest in the surplus from the sale, if any, other than the property owner as of the date of the lis pendens must file a claim before the clerk reports the surplus as unclaimed. Dated this day of 06/14/2024 Kevin Karnes As Clerk of the Court (SEAL) By: N. Watson As Deputy Clerk Brock & Scott PLLC 2001 NW 64th St, Suite 130 Ft. Lauderdale, FL 33309 Attorney for Plaintiff File # 22-F00973 June 21, 28, 2024 24-02509L

FIRST INSERTION NOTICE OF ACTION FOR VERIFIED PETITION FOR DISSOULTION OF MARRIAGE WITH NO MINOR CHILDREN IN THE CIRCUIT COURT OF THE TWENTIETH JUDICIAL CIRCUIT IN AND FOR LEE COUNTY, FLORIDA Case No: 24-DR-003570 IN RE: THE MARRIAGE OF: Michelle A Edwards, Petitioner, and Michael Brian Edwards, Respondent. TO: MICHAEL BRIAN EDWARDS, whose last known address is: 169 W Mt. Airy Rd. Shavertown, PA 18708. YOU ARE HEREBY NOTIFIED that an action has been filed against you and that you are required to serve a copy of your written defenses, if any, to the attorney for the Petitioner, as follows: SUSAN L. RAY, ESQUIRE, 4206 DEL PRADO BLVD. S., CAPE CORAL, FL 33904 on or before July 16, 2024, and file the original with the clerk of the Court, Lee County, Florida, 1700 Monroe Street, Fort Myers, FL 33901, before service on Petitioner’s attorney or immediately thereafter. IF YOU FAIL TO DO SO, A DEFAULT MAY BE ENTERED AGAINST YOU FOR THE RELIEF DEMANDED IN THE JOINT PETITION.

Copies of all court documents in this case, including orders, are available at the Clerk of the Circuit Court’s office. You may review these documents upon request. You must keep the Clerk of the Circuit Court’s office notified of your current address. (You may file Notice of Current Address, Florida Supreme Court Approved Family Law Form 12.915.) Future papers in this lawsuit will be mailed to the address on record at the clerk’s office. WARNING: Rule 12.285, Florida Family Law Rules of Procedure, requires certain automatic disclosure of documents and information. Failure to comply can result in sanctions, including dismissal or striking of pleadings.

Dated: 06/06/2024 Kevin C. Karnes CLERK OF THE CIRCUIT COURT (SEAL) By: J. Collins Deputy Clerk Jun. 21, 28; Jul. 5, 12, 2024 24-02554L

22 JUNE 21 - JUNE 27, 2024 BUSINESS OBSERVER LEE
COUNTY
--- ESTATE ---
--- SALES ----- ACTIONS / SALES ---
SAVE TIME legal@businessobserverfl.com • Deadline Wednesday at noon • Friday Publication LV20906_V11

INSERTION

NOTICE OF ACTION IN THE CIRCUIT COURT OF THE TWENTIETH JUDICIAL CIRCUIT

IN AND FOR LEE COUNTY, FLORIDA

Case No.: 2024-CA-001298

ELLEN CROUSE, BRADLEY WYMBS, COLE WYMBS, BRANDON WYMBS, HEATHER WYMBS, VICTORIA STERLING, LOREN SNYDER, AND MONICA ANDERSON

Plaintiff, vs. KIM R. MOORE, KIP ANDERSON, BRUCE ANDERSON, BRANDON SNYDER TINA MARSHALL, JAMES SNYDER, SCOTT SABIN, LISA WILSON, RENEE WEBB, JANICE DE MEDINA, SCOTT SABIN, AND LISE WILSON

Defendant.

TO: Janice De Medina

7 South Bruce Street Darien, WI 53114

YOU ARE NOTIFIED that an action has been filed against you in the Circuit Court of the Twentieth Judicial Circuit, in and for Lee County, Florida, for a Partition Action, you are required to serve a copy of your written defenses to it, if any, to:

TWIG, TRADE, & TRIBUNAL, PLLC

c/o Terra L. Sickler, Esq. 1512 E. Broward Blvd. Suite 204A Fort Lauderdale, FL 33301 on or before July 23, 2024, and file the original with the Clerk of this Court, at the Lee County Justice Center, 2075 Dr. Martin Luther King Jr. Boulevard, 2nd Floor, Fort Myers, FL 33901, either before service on Plaintiff’s attorney or immediately thereafter; or a default will be entered against you for the relief demanded in the Complaint or Petition.

WITNESS my hand and Seal of this Court on 06/13/2024

Kevin C. Karnes

CLERK OF THE COURT (SEAL) By N Watson As Deputy Clerk

TWIG, TRADE, & TRIBUNAL, PLLC c/o Terra L. Sickler, Esq.

1512 E. Broward Blvd.

Suite 204A

Fort Lauderdale, FL 33301

Jun. 21, 28; Jul. 5, 12, 2024 24-02502L

NOTICE OF ACTION IN THE CIRCUIT COURT OF THE TWENTIETH JUDICIAL CIRCUIT, IN AND FOR LEE COUNTY, FLORIDA. CASE No. 24-CA-002117

PHH MORTGAGE

CORPORATION, PLAINTIFF, VS. THE UNKNOWN HEIRS, BENEFICIARIES, DEVISEES, GRANTEES, ASSIGNORS, CREDITORS AND TRUSTEES OF THE ESTATE OF JESSIE LEE JOHNSON A/K/A JESSIE JOHNSON A/K/A JESSIE LEE THOMAS (DECEASED), ET AL.

DEFENDANT(S).

To: THE UNKNOWN HEIRS, BENEFICIARIES, DEVISEES, GRANTEES, ASSIGNORS, CREDITORS AND TRUSTEES OF THE ESTATE OF JESSIE LEE JOHNSON A/K/A JESSIE JOHNSON A/K/A JESSIE LEE THOMAS (DECEASED)

RESIDENCE: UNKNOWN LAST KNOWN ADDRESS: 3718 Highland Ave, Fort Myers, FL 33916 YOU ARE HEREBY NOTIFIED that an action to foreclose a mortgage on the following described property located in Lee County, Florida: FROM THE NORTHEAST CORNER OF SECTION 30, TOWNSHIP 44 SOUTH, RANGE 25 EAST, LEE COUNTY, FLORIDA, RUN S 89 DEGREES 41 MINUTES 30 SECONDS W FOR 773.84 FEET; THENCE RUN S 0 DEGREES 15 MINUTES 40 SECONDS E ALONG THE WEST LINE OF A ROADWAY EASEMENT 60 FEET WIDE FOR 529.95 FEET TO A POINT OF CURVATURE; THENCE RUN SOUTHERLY, SOUTHWESTERLY AND WESTERLY ALONG THE WESTERLY, NORTHWESTERLY AND NORTHERLY LINE OF SAID ROADWAY EASEMENT 60 FEET WIDE ALONG THE ARC OF A CURVE TO THE RIGHT OF RADIUS 25

FIRST INSERTION

NOTICE OF ACTION IN THE CIRCUIT COURT OF THE TWENTIETH JUDICIAL CIRCUIT IN AND FOR LEE COUNTY, FLORIDA CIVIL DIVISION CASE NO.: 24-CA-2498

IN RE: FORFEITURE OF 2008 LEXUS ES350 SEDAN VIN#: JTHBJ46G482264953

To: Jeremiah Broomfield, 4604 Gene Ave., Lehigh Acres, Florida 33971

You are hereby notified that CARMINE MARCENO, as Sheriff of Lee County has filed a forfeiture proceeding in the Circuit Court of the Twentieth Judicial Circuit in and for Lee County, Florida requesting that the 2008 LEXUS ES350 SEDAN VIN#: JTHBJ46G482264953 seized on or about February 20, 2024, be forfeited to the Petitioner, SHERIFF CARMINE MARCENO, for the use and benefit of the LEE COUNTY SHERIFF’S OFFICE.

You are further advised that the LEE COUNTY SHERIFF’S OFFICE is presently holding the above described 2008 LEXUS ES350 SEDAN VIN#: JTHBJ46G482264953.

You are required to file a copy of your written defenses, if any, to said forfeiture action on Kimberly A. Sams, Petitioner’s Attorney, whose address is Lee County Sheriff’s Office, Legal Division, 14750 Six Mile Cypress Parkway, Fort Myers, Florida 33912, by mail within 30 days of first publication, and file the original with Clerk of the Court either before service on Petitioner’s attorney or immediately thereafter; otherwise a default will be entered against you for the relief demanded in the Complaint or Petition.

Dated this 13th day of June, 2024. Kevin C. Karnes Clerk of Court (SEAL) By: K. Harris Deputy Clerk

Kimberly A. Sams, Attorney 14750 Six Mile Cypress Parkway Fort Myers, Florida 33912 (239) 477-1163

E-mail: KSams@SheriffLeeFL.org

Secondary:

E.Service@SheriffLeeFL.org

By: Kimberly A. Sams Florida Bar No.: 116456 June 21, 28, 2024 24-02517L

FEET FOR 39.22 FEET TO A POINT OF TANGENCY; THENCE RUN S 89 DEGREES 38 MINUTES 00 SECONDS W ALONG THE NORTH LINE OF SAID ROADWAY EASEMENT 60 FEET WIDE FOR 85.05 FEET;THENCE RUN S 0 DEGREES 15 MINUTES 40 SECONDS E ALONG THE WEST LINE OF SAID ROADWAY EASEMENT 60 FEET WIDE FOR 304.52 FEET; THENCE RUN N 89 DEGREES 38 MINUTES 00 SECONDS E FOR 205.00 FEET ALONG THE SOUTH LINE OF SAID ROADWAY EASEMENT 60 FEET WIDE TO THE POINT OF BEGINNING. FROM SAID POINT OF BEGINNING CONTINUE N 89 DEGREES 38 MINUTES 00 SECONDS E ALONG SAID SOUTH LINE OF A ROADWAY EASEMENT 60 FEET WIDE FOR 70.00; THENCE RUN S. 0 DEGREES 15 MINUTES 40 SECONDS E FOR 125.36 FEET TO THE CENTERLINE OF A DRAINAGE AND PUBLIC UTILITIES EASEMENT 12 FEET WIDE; THENCE RUN S 89 DEGREES 36 MINUTES 10 SECONDS W ALONG SAID CENTERLINE OF A 12 FEET WIDE DRAINAGE AND PUBLIC UTILITIES

EASEMENT FOR 70.00 FEET; THENCE RUN N 0 DEGREES 15 MINUTES 40 SECONDS W FOR 125.39 FEET TO THE POINT OF BEGINNING. TOGETHER WITH THE HEREIN DESCRIBED ROADWAY EASEMENT 60 FEET WIDE

EXTENDING FROM THE SOUTH LINE OF CANAL STREET TO THE EAST LINE OF THE HEREIN DESCRIBED PARCEL. SUBJECT TO AN EASEMENT FOR DRAINAGE AND PUBLIC UTILITIES 12 FEET WIDE OVER AND ACROSS THE SOUTH 6 FEET

FIRST INSERTION

NOTICE OF ACTION IN THE CIRCUIT COURT OF THE TWENTIETH JUDICIAL CIRCUIT IN AND FOR LEE COUNTY, FLORIDA CIVIL DIVISION CASE NO.: 24-CA-2498

IN RE: FORFEITURE OF 2008 LEXUS ES350 SEDAN VIN#: JTHBJ46G482264953

To: Chazamine Miller, 2315 Central Ave, Apt. 20, Fort Myers, Florida 33901

You are hereby notified that CARMINE MARCENO, as Sheriff of Lee County, has filed a forfeiture proceeding in the Circuit Court of the Twentieth Judicial Circuit in and for Lee County, Florida requesting that the 2008 LEXUS ES350 SEDAN VIN#: JTHBJ46G482264953 seized on or about February 20, 2024, be forfeited to the Petitioner, SHERIFF CARMINE MARCENO, for the use and benefit of the LEE COUNTY SHERIFF’S OFFICE.

You are further advised that the LEE COUNTY SHERIFF’S OFFICE is presently holding the above described 2008 LEXUS ES350 SEDAN VIN#: JTHBJ46G482264953.

You are required to file a copy of your written defenses, if any, to said forfeiture action on Kimberly A. Sams, Attorney for the Petitioner, whose address is Lee County Sheriff’s Office Legal Division, 14750 Six Mile Cypress Parkway, Fort Myers, Florida 33912, by mail within 30 days of first publication, and file the original with Clerk of the Court either before service on Petitioner’s attorney or immediately thereafter; otherwise a default will be entered against you for the relief demanded in the Complaint or Petition.

Dated this 13th day of June, 2024. Kevin C. Karnes Clerk of Court (SEAL) By: K. Harris Deputy Clerk

Kimberly A. Sams, Attorney 14750 Six Mile Cypress Parkway Fort Myers, Florida 33912 (239) 477-1163

E-mail: KSams@SheriffLeeFL.org

Secondary:

E.Service@SheriffLeeFL.org

By: Kimberly A. Sams

Florida Bar No.: 116456 June 21, 28, 2024 24-02516L

OF THE LANDS HEREIN DESCRIBED. BEARINGS HEREINABLVE MENTIONED ARE FROM ASSUMING THE EAST LINE OF SECTION 30 AS N 0 DEGREES 15` 00” W. BEING LOT 38, UNRECORDED PLAT OF HIGHLANDS SOUTH. has been filed against you, and you are required to serve a copy of your written defenses, if any, to this action, on Tromberg, Morris & Poulin, PLLC, attorneys for Plaintiff, whose address is 600 West Hillsboro Boulevard, Suite 600, Deerfield Beach, FL 33441, and file the original with the Clerk of the Court, within 30 days after the first publication of this notice, or immediately thereafter, otherwise a default may be entered against you for the relief demanded in the Complaint.

If you are a person with a disability who needs any accommodation in order to participate in this proceeding, you are entitled, at no cost to you, to the provision of certain assistance. Please contact Brooke Dean, Operations Division Manager, whose office is located at Lee County Justice Center, 1700 Monroe Street, Fort Myers, Florida 33901, and whose telephone number is (239) 533-1771, at least 7 days before your scheduled court appearance, or immediately upon receiving this notification if the time before the scheduled appearance is less than 7 days; if you are hearing or voice impaired, call 711.

This notice shall be published once a week for two consecutive weeks in the Business Observer.

Date: 06/06/2024 Kevin C. Karnes

Clerk of the Circuit Court (SEAL) By: K Shoap Deputy Clerk of the Court

Tromberg, Morris & Poulin, PLLC, attorneys for Plaintiff, 600 West Hillsboro Boulevard, Suite 600, Deerfield Beach, FL 33441

Our Case #: 24-000111/24-CA-002117/ PHH June 21, 28, 2024 24-02499L

FIRST INSERTION NOTICE OF ACTION IN THE CIRCUIT COURT OF THE TWENTIETH JUDICIAL CIRCUIT IN AND FOR LEE COUNTY, FLORIDA CIVIL DIVISION CASE NO.: 24-CA-3176 IN RE: FORFEITURE OF $28,650.00 US CURRENCY TO ALL PERSONS OR ENTITIES HAVING OR CLAIMING TO HAVE ANY RIGHT, TITLE OR INTEREST IN THE PROPERTY HEREIN DESCRIBED:

YOU ARE NOTIFIED that an action pursuant to the Florida Contraband Forfeiture Act has been filed by PETITIONER, CARMINE MARCENO, as Sheriff of Lee County in the Circuit Court of the Twentieth Judicial Circuit in and for Lee County, Florida requesting that the $28,650.00 US CURRENCY be forfeited to the Petitioner, SHERIFF CARMINE MARCENO, for the use and benefit of the LEE COUNTY SHERIFF’S DEPARMENT.

You are further advised that the LEE COUNTY SHERIFF’S DEPARTMENT is presently holding the above described $28,650.00 US CURRENCY.

You are required to file a copy of your written defenses, if any, to said forfeiture action on Kimberly A. Sams, Attorney for the Petitioner, whose address is Lee County Sheriff’s Department, Legal Division, 14750 Six Mile Cypress Parkway, Fort Myers, Florida 33912, by mail within 30 days of first publication, and file the original with Clerk of the Court either before service on Petitioner’s attorney or immediately thereafter; otherwise a default will be entered against you for the relief demanded in the Complaint.

Dated this 13th day of June, 2024. Kevin C. Karnes Lee County Clerk of Court (SEAL) K. Harris

Kimberly A. Sams, Esq. LEE COUNTY SHERIFF’S OFFICE

LEGAL DIVISION 14750 Six Mile Cypress Parkway Fort Myers, Florida 33912 (239) 477-1163

E-mail: KSams@SheriffLeeFL.org

Secondary: e.service@SheriffLeeFL.org

By: Kimberly A. Sams

Florida Bar No.: 116456 June 21, 28, 2024 24-02518L

FIRST INSERTION NOTICE OF ACTIONCONSTRUCTIVE SERVICE (PROPERTY) IN THE CIRCUIT COURT OF THE 20TH JUDICIAL CIRCUIT IN AND FOR LEE COUNTY, FLORIDA CASE NO. 24-CA-001434 ADD VALUE DEVELOPMENT, LLC, Plaintiff, vs. KWON LEE, Defendant.

To: Kwon Lee, 18 Pell Street, Apt. 7, New York, NY 10013 YOU ARE HEREBY NOTIFIED that an action to quiet title on the following property in Lee County, Florida: Lots 59 and 60, Block 2645, of CAPE CORAL, UNIT 38, according to the Plat thereof, as recorded in Plat Book 16, Page 87, Public Records of Lee County, Florida has been filed against you and you are required to serve a copy of your written defenses, if any, to it on Dane T. Stanish, Esq., attorney for Add Value Development, LLC, whose address is 3475 Sheridan Street, Suite 209, Hollywood, FL 33021, and file the original with the Clerk of the above-styled Court on or before July 29, 2024, otherwise a default will be entered against you for the relief prayed for in the complaint or petition.

This notice shall be published once a week for four consecutive weeks. WITNESS my hand and seal of said Court at Ft. Myers, Florida, on this 06/17/2024.

KEVIN C. KARNES As Clerk of said Court (SEAL) By K. Harris Deputy Clerk Dane T. Stanish, Esq., attorney for Add Value Development, LLC, 3475 Sheridan Street, Suite 209, Hollywood, FL 33021 (954-923-0524) Jun. 21, 28; Jul. 5, 12, 2024 24-02527L

NOTICE OF ACTION IN THE CIRCUIT COURT OF THE 20TH JUDICIAL CIRCUIT, IN AND FOR LEE COUNTY, FLORIDA Case No.: 23-CA-012126 GREENSPRING CAPITAL MANAGEMENT, LLC, NOT IN ITS INDIVIDUAL CAPACITY, BUT SOLELY AS ADMINISTRATOR OF RMH 2023-1 TRUST, Plaintiff, vs. ALL UNKNOWN HEIRS, CREDITORS, DEVISEES, BENEFICIARIES, GRANTEES, ASSIGNEES, LIENORS, TRUSTEES, AND ALL OTHER PARTIES CLAIMING AN INTEREST BY, THROUGH, UNDER, OR AGAINST VERLA M. OUSELY; ALL UNKNOWN HEIRS, CREDITORS, DEVISEES, BENEFICIARIES, GRANTEES, ASSIGNEES, LIENORS, TRUSTEES, AND ALL OTHER PARTIES CLAIMING AN INTEREST BY, THROUGH, UNDER, OR AGAINST DEBORAH M. OUSLEY: MEG OUSLEY, Defendants.

To: Meg Ousely

Last Known Address: 3745 SE 6th Avenue Cape Coral, Florida 33904

Current Address: 3745 SE 6th Avenue

Cape Coral, Florida 33904

YOU ARE HEREBY NOTIFIED that an action has been instituted to foreclose a Mortgage covering the following real and personal property described as follows, to wit: Lots 32P and 32Q, Block 480, REVISED PLAT OF A PORTION OF CAPE CORAL, UNIT 15, according to the map or plat thereof as recorded in Plat Book 13, Page 93, Public Records of

NOTICE OF ACTION IN THE CIRCUIT COURT OF THE TWENTIETH JUDICIAL CIRCUIT, IN AND FOR LEE COUNTY, FLORIDA. CASE No. 362024CC002496A001CH APEX ROOFING AND RESTORATION, LLC, PLAINTIFF, VS. PATRICIA SPIRES A/K/A PATRICIA FERNANDEZ RIVERA, ET AL.

DEFENDANT(S). To: PATRICIA SPIRES A/K/A PATRICIA FERNANDEZ RIVERA

RESIDENCE: UNKNOWN LAST KNOWN ADDRESS: 3608 4th Street Southwest, Lehigh Acres, FL 33976

To: UNKNOWN SPOUSE OF PATRICIA SPIRES A/K/A PATRICIA FERNANDEZ RIVERA

RESIDENCE: UNKNOWN LAST KNOWN ADDRESS: 3608 4th Street Southwest, Lehigh Acres, FL 33976

To: UNKNOWN TENANT # 1

RESIDENCE: UNKNOWN LAST KNOWN ADDRESS: 3608 4th Street Southwest, Lehigh Acres, FL 33976

YOU ARE HEREBY NOTIFIED that an action to foreclose a Claim of Lien on the following described property located in Lee County, Florida: LOT 16, BLOCK 9, UNIT 1, SECTION 35, TOWNSHIP 44 SOUTH, RANGE 26 EAST, LEHIGH ACRES, ACCORDING TO THE PLAT THEREOF, AS RECORDED IN PLAT BOOK 15, PAGE 91, OF THE PUBLIC RECORDS OF LEE COUNTY, FLORIDA.

Lee County, Florida. Property Address: 3745 SE 6th Avenue, Cape Coral, Florida 33904.

Each Defendant is required to serve written defenses to the Complaint or Petition on Gary M. Singer, Esq., Law Firm of Gary M. Singer. P.A., Plaintiff’s attorney, whose address is 12 S.E. 7th Street, Ste. 820, Fort Lauderdale, FL 33301, and to file the original of the defenses with the Clerk of this Court, on or before the 30th day following the first publication of this notice June 21, 2024, otherwise a Judgment may be entered against you for the relief demanded in the Complaint. You may also e-mail the written defenses to the Complaint to the following e-mail addresses: service@gary singerlaw.com and/or singer@gary singerlaw.com. This Notice should be published once a week for two consecutive weeks in the Business Observer.

WITNESS my hand and seal of said Court at Lee County, Florida, this 13th day of June, 2024.

Kevin C. Karnes As Clerk of the Court (SEAL) By: K. Harris Deputy

at 10:30 am, the following mobile home will be sold at public auction pursuant to F.S. 715.109. 1995 FRAN HS 10FBA02T4S1010894 . Last Tenants: JOY MELINDA WALLACE-VERTEIN

2024 24-02557L NOTICE OF FORFEITURE PROCEEDINGS IN THE CIRCUIT COURT OF THE TWENTIETH JUDICIAL CIRCUIT IN AND FOR LEE COUNTY, FLORIDA Case Number: 2023-CA-012733 IN RE: FORFEITURE

NOTICE OF ACTION IN THE CIRCUIT COURT OF THE TWENTIETH JUDICIAL CIRCUIT, IN AND FOR LEE COUNTY, FLORIDA. CASE No. 24-CA-003511 SEATTLE BANK, PLAINTIFF, VS. THE UNKNOWN HEIRS, BENEFICIARIES, DEVISEES, GRANTEES, ASSIGNORS, CREDITORS AND TRUSTEES OF THE ESTATE OF GLEASON J. MURRAY (DECEASED), ET AL. DEFENDANT(S). To: THE UNKNOWN HEIRS, BENEFICIARIES, DEVISEES, GRANTEES, ASSIGNORS, CREDITORS AND TRUSTEES OF THE ESTATE OF GLEASON J. MURRAY (DECEASED) RESIDENCE: UNKNOWN LAST KNOWN ADDRESS: 2601 Van Buren, Parkway , Cape Coral, FL 33993 YOU ARE HEREBY NOTIFIED that an action to foreclose a mortgage on the following described property located in Lee County, Florida: LOTS 29 AND 30, BLOCK 4115, CAPE CORAL SUBDIVISION, UNIT 57, ACCORDING TO THE MAP OR PLAT THEREOF ON FILE AND RECORDED IN PLAT BOOK 19, PAGES 124 THROUGH 137, INCLUSIVE, PUBLIC RECORDS OF LEE COUNTY, FLORIDA. has been filed against you, and you are required to serve a copy of your written defenses, if any, to this action, on Tromberg, Morris & Poulin, PLLC, attorneys for Plaintiff, whose address is 600 West

has been filed against you, and you are required to serve a copy of your written defenses, if any, to this action, on Tromberg, Morris & Partners, PLLC, attorneys for Plaintiff, whose address is 600 West Hillsboro Boulevard, Suite 600, Deerfield Beach, FL 33441, and file the original with the Clerk of the Court, within 30 days after the first publication of this notice, otherwise a default may be entered against you for the relief demanded in the Complaint. This notice shall be published once a week for two consecutive weeks in the Business Observer. If you are a person with a disability who needs any accommodation in order to participate in this proceeding, you are entitled, at no cost to you, to the provision of certain assistance. Please contact Brooke Dean, Operations Division Manager, whose office is located at Lee County Justice Center, 1700 Monroe Street, Fort Myers, Florida 33901, and whose telephone number is (239) 533-1771, at least 7 days before your scheduled court appearance, or immediately upon receiving this notification if the time before the scheduled appearance is less than 7 days; if you are hearing or voice impaired, call 711. Date: 06/13/2024

Kevin C. Karnes Clerk of the Circuit Court (SEAL) By: K. Harris Deputy Clerk of the Court Tromberg, Morris & Partners, PLLC, attorneys for Plaintiff, 600 West Hillsboro Boulevard, Suite 600, Deerfield Beach, FL 33441 Our Case #: 24-000429/362024CC00 2496A001CH/Apex June 21, 28, 2024 24-02505L

Hillsboro Boulevard, Suite 600, Deerfield Beach, FL 33441, and file the original with the Clerk of the Court, within 30 days after the first publication of this notice, or immediately thereafter, otherwise a default may be entered against you for the relief demanded in the Complaint. This notice shall be published once a week for two consecutive weeks in the Business Observer. If you are a person with a disability who needs any accommodation in order to participate in this proceeding, you are entitled, at no cost to you, to the provision of certain assistance. Please contact Brooke Dean, Operations Division Manager, whose office is located at Lee County Justice Center, 1700 Monroe Street, Fort Myers, Florida 33901,

23 JUNE 21 - JUNE 27, 2024 BusinessObserverFL.com
--- ACTIONS ---
LEE COUNTY
and whose telephone number is (239) 533-1771, at least 7 days before your scheduled court appearance, or immediately upon receiving this notification if the time before the scheduled appearance is less than 7 days; if you are hearing or voice impaired, call 711. Date: 06/13/2024 Kevin C. Karnes Clerk of the Circuit Court (SEAL) By: K Shoap Deputy Clerk of the Court Tromberg, Morris & Poulin, PLLC, attorneys for Plaintiff, 600 West Hillsboro Boulevard, Suite 600, Deerfield Beach, FL 33441 Our Case #: 24-000215/24-CA003511/PHH June 21, 28, 2024 24-02498L FIRST
Clerk
singer@garysingerlaw.com By: /s/ Gary M. Singer Gary M. Singer, Esq. Florida Bar No.: 544906 June 21, 28, 2024 24-02506L
Respectfully Submitted, LAW FIRM OF GARY M. SINGER, P.A. 12 SE 7th Street, Suite 820 Fort Lauderdale, FL 33301 Telephone: (954) 851-1448 Facsimile: (954) 252-2189 service@garysingerlaw.com
FIRST INSERTION FIRST INSERTION FIRST INSERTION FIRST INSERTION FIRST INSERTION NOTICE OF PUBLIC SALE Notice is hereby given that on 7/5/2024
AND JAMES JON VERTEIN
all unknown parties beneficiaries heirs
Sale to be at SUN INDIAN CREEK LLC, 17820 SAN CARLOS BOULEVARD, FORT MYERS, FL 33931.
241-8269 June 21, 28,
OF: One (1) 2012 Chrysler 300 SRT8 VIN: 2C3CCAFJ1CH800966 ALL PERSONS who claim an interest in the following property: One (1) 2012 Chrysler 300 SRT 8 (VIN: 2C3CCAFJ1CH800966), which was seized because said property is alleged to be contraband as defined by Sections 932.701 (2)(a)(1-6), Florida Statutes, by the Department of Highway Safety and Motor Vehicles, Division of Florida Highway Patrol, on or about November 8, 2023, in Lee County, Florida. Any owner, entity, bona fide lienholder, or person in possession of the property when seized has the right to request an adversarial preliminary hearing for a probable cause determination within fifteen (15) days of initial receipt of notice, by providing such request to Angeline Attila, Assistant General Counsel, Department of Highway Safety and Motor Vehicles, 7322 Normandy Boulevard, Jacksonville, Florida 32205, by certified mail return receipt requested. A complaint for forfeiture has been filed in the above styled court. June 21, 28, 2024 24-02555L FIRST INSERTION
and
.
813-

NOTICE OF ACTION

IN THE CIRCUIT COURT OF THE TWENTIETH JUDICIAL CIRCUIT IN AND FOR LEE COUNTY, FLORIDA

CIVIL ACTION

Case No. 2024-CA-3361

Judge: Alane C. Laboda OTHON CONSTRUCTION CORP., a Florida corporation, Plaintiff, v. THE UNKNOWN HEIRS OF NOAH RAY HUTCHERSON; THE UNKNOWN HEIRS OF IRA M. PARKS; THE UNKNOWN HEIRS OF BEVERLY GUIDO; BUILT TO RETIRE, LLC, Utah limited liability company; THE UNKNOWN HEIRS OF DON B. ADAMSON; THE UNKNOWN HEIRS OF RENATE M. ADAMSON; and all others claiming by, through or under these Defendants,

NOTICE OF ACTION IN THE CIRCUIT COURT OF THE TWENTIETH JUDICIAL CIRCUIT IN AND FOR LEE COUNTY, FLORIDA CASE NO.: 22-CA-003836 LAKEVIEW LOAN SERVICING, LLC, Plaintiff, v. MICHAEL P. WAHLERS, et al., Defendants.

TO: Shannon Wahlers

28700 Megan Drive Bonita Springs FL 34135

Douglas R. Donahue, individually and as Successor Trustee of the Bernice A. Donahue Revocable Trust, dated April 15, 1992, Amended and Restated July 23, 2004 28700 Megan Drive

Bonita Springs FL 34135

Unknown Personal Representative of the Estate of Edward McArdle

4601 Garden Point Trail

Wellington FL 33414

Unknown Heirs, Beneficiaries and Devisees of the Estate of Edward McArdle

4601 Garden Point Trail

Wellington FL 33414

Unknown Personal Representative of the Estate of Marian McArdle

4601 Garden Point Trail

NOTICE OF ACTION IN THE CIRCUIT COURT OF THE TWENTIETH JUDICIAL CIRCUIT IN AND FOR LEE COUNTY, FLORIDA CIVIL ACTION

CASE NO.: 24-CA-2045

PROMISED SKY ALF INC., a Florida Corporation Plaintiff, -vsGROVER ELERIAL FIELDS, JESSE ROBERT FIELDS, RANDY LEE FIELDS, and JUDITH LEE SMART, and all other parties claiming by, through, under and against it; and all unknown natural persons, if alive and of not known to be dead or alive, their several and respective spouses, heirs, devisees, grantees, and creditors or other parties claiming by, through or under those unknown natural persons and its several unknown assigns, successors in interest, trustees, or any other persons claiming by, through, under or against any corporation or other legal entity named as defendant; and all claimants, persons or parties natural or corporate whose exact status is unknown, claiming under any of the above named or described defendants or parties who are claiming to have any right, title or interest in and to the lands hereafter described, Defendants.

TO JESSE ROBERT FIELDS and all other parties claiming by, through, under or against them; and all unknown natural persons, if alive and if not known to be dead or alive, their several and respective spouses, heirs, devisees, grantees, and creditors or other parties claiming by, through or under those unknown natural persons and their several unknown assigns, successors in interest, trustees, or any other persons claiming by, through, under or against any corporation or other legal entity named as a defendant; and all claimants, persons or parties natural or corporate whose exact status is unknown, claiming under any of the above named

NOTICE TO CREDITORS IN THE CIRCUIT COURT FOR LEE COUNTY, FLORIDA

PROBATE DIVISION

No. 24-CP-001955

Probate IN RE: ESTATE

Defendants. TO: THE UNKNOWN HEIRS OF DON B. ADAMSON Last Known Addresses: 2831 S. 24th Street W., Muskogee, OK 74401 YOU ARE NOTIFIED that an action to quiet title on the following property in Lee County, Florida: LOTS 17 AND 18, BLOCK 24, UNIT 2, SECTION 24, TOWNSHIP 45 SOUTH, RANGE 27 EAST, LEHIGH ACRES, ACCORDING TO THE MAP OR PLAT THEREOF, AS RECORDED IN PLAT BOOK 18, PAGE 91, OF THE PUBLIC RECORDS OF LEE COUNTY, FLORIDA. Address: 1145 Florence Street E., Leigh Acres, FL 33974 Parcel ID: 24-45-27-L102024.0170 (the “Property”). has been filed against you and you

Wellington FL 33414

Unknown Heirs, Beneficiaries and Devisees of the Estate of Marian McArdle 4601 Garden Point Trail

Wellington FL 33414

Unknown Personal Representative of the Estate of J. Stephen Crawford 27 E. Ward Street Shellman GA 39886

Unknown Heirs, Beneficiaries and Devisees of the Estate of J. Stephen Crawford 27 E. Ward Street Shellman GA 39886 YOU ARE HEREBY NOTIFIED that an action to foreclose a mortgage on the following described property in Lee County, Florida: A portion of Lots 61 and 62, The Lake Club at Spanish Wells, a subdivision in Section 3, Township 48 South, Range 25 East, Lee County, Florida, and more particularly described as follows: Commence at the Southwest corner of Lot 62, The Lake Club at Spanish Wells, a subdivision according to the plat thereof recorded in Plat Book 34, at pages 46 and 47, of the Public Records of Lee County, Florida, also being the Point of Beginning of the

or described defendants or parties who are claiming to have any right, title or interest in and to the lands hereafter described Lee County, Florida: Lot 362 of that certain subdivision known as LAZY DAYS MOBILE VILLAGE, UNIT TWO, according to the map or plat thereof on file and recorded in the office of the Clerk of the Circuit Court of Lee County, Florida in Official Records Book 1011, at Page(s) 1851.

Together with that certain 1978 Barrington Mobile Home, ID#(s) FLFL2A813331159 and FLFL2B813331159, Title #: 15927491 and Title #: 15927492. Property Tax ID#: 26-43-24-0500000.3620 Street Address: 647 Future Drive, North Fort Myers, Florida 33917 YOU, AND EACH OF YOU, ARE HEREBY NOTIFIED that a suit to quiet title to the above described property has been filed against you and you are required to serve a copy of your written defenses, if any, to it on Alexis M. Faulkner, Esquire, Plaintiff’s Attorney, of the law firm of Jones, Haber & Rollings, whose address is 1633 SE 47th Terrace, Cape Coral, Florida 33904 and file the original with the Clerk of this Court on or before July 29, 2024; otherwise the allegations of the Complaint will be taken as confessed.

This Notice shall be published once a week for four consecutive weeks in Fort Myers, Florida.

Dated: 06/18/2024

KEVIN C. KARNES, Clerk of Circuit Court (SEAL) By: N. Watson Deputy Clerk Alexis M. Faulkner, Esquire, Plaintiff’s Attorney, Jones, Haber & Rollings, 1633 SE 47th Terrace, Cape Coral, Florida 33904 Jun. 21, 28; Jul. 5, 12, 2024 24-02550L

are required to serve a copy of your written defenses by the Lee County Clerk of Court’s scheduled default date of July 29, 2024 on Bradley W. Butcher, Plaintiff’s attorney, whose address is 6830 Porto Fino Circle, Ste. 2, Fort Myers, Florida 33912 and file the original with this Court either before service on Plaintiff’s attorney, or immediately thereafter; otherwise a default will be entered against you for the relief demanded in the Complaint or petition.

This notice shall be published once a week for four (4) consecutive weeks in the Business Observer. If you are a person with a disability who needs any accommodation in order to participate in this proceeding, you are entitled, at no cost to you, to the provision of certain assistance. Please contact Brooke Dean, Operations Division Manager, whose office

lands herein described; thence run North 12°06’09” West along the Westerly line of said Plat boundary for a distance of 55.19 feet; thence run North 81°17’21” East for a distance of 67.91 feet; thence run South 89°13’14” East for a distance of 136.05 feet to a point on the Westerly line of Tract “A” (Megan Drive); thence run South 00°46’56” West along said Westerly right-of-way line for a distance of 65.00 feet; thence run North 89°13’04” West for a distance of 190.72 feet to the Point of Beginning. has been filed against you and you are required to serve a copy of your written defenses, if any, on Anthony R. Smith, Esquire, the Plaintiff’s attorney, whose address is Tiffany & Bosco, P.A., 1201 S. Orlando Ave, Suite 430, Winter Park, FL 32789, on or before thirty (30) days from the date of first publication of this Notice, and file the original with the Clerk of this Court either before service on the Plaintiff’s attorney or immediately thereafter; or a default will be entered against you for the relief demanded in the complaint. If you are a person with a disability

NOTICE OF ACTION IN THE CIRCUIT COURT OF THE TWENTIETH JUDICIAL CIRCUIT IN AND FOR LEE COUNTY, FLORIDA CIVIL ACTION

CASE NO.: 24-CA-2045

PROMISED SKY ALF INC., a Florida Corporation Plaintiff, -vsGROVER ELERIAL FIELDS, JESSE ROBERT FIELDS, RANDY LEE FIELDS, and JUDITH LEE SMART, and all other parties claiming by, through, under and against it; and all unknown natural persons, if alive and of not known to be dead or alive, their several and respective spouses, heirs, devisees, grantees, and creditors or other parties claiming by, through or under those unknown natural persons and its several unknown assigns, successors in interest, trustees, or any other persons claiming by, through, under or against any corporation or other legal entity named as defendant; and all claimants, persons or parties natural or corporate whose exact status is unknown, claiming under any of the above named or described defendants or parties who are claiming to have any right, title or interest in and to the lands hereafter described, Defendants.

TO JUDITH LEE SMART and all other parties claiming by, through, under or against them; and all unknown natural persons, if alive and if not known to be dead or alive, their several and respective spouses, heirs, devisees, grantees, and creditors or other parties claiming by, through or under those unknown natural persons and their several unknown assigns, successors in interest, trustees, or any other persons claiming by, through, under or against any corporation or other legal entity named as a defendant; and all claimants, persons or parties natural or corporate whose exact status is unknown, claiming under any of the above named or described

is located at Lee County Justice Center, 1700 Monroe Street, Fort Myers, Florida 33901, and whose telephone number is (239) 533-1771, at least 7 days before your scheduled court appearance, or immediately upon receiving this notification if the time before the scheduled appearance is less than 7 days; if you are hearing or voice impaired, call 711.

Dated this 17th day of June, 2024.

CLERK OF THE CIRCUIT COURT (SEAL) KEVIN C. KARNES Lee County Clerk of Court (SEAL) By: K. Harris as Deputy Clerk Butcher & Associates, P.L. 6830 Porto Fino Circle, Ste. 2 Fort Myers, Florida 33912

Jun. 21, 28; Jul. 5, 12, 2024 24-02525L

who needs any accommodation in order to participate in this proceeding, you are entitled, at no cost to you, to the provision of certain assistance. Please contact Brooke Dean, Operations Division Manager, whose office is located at Lee County Justice Center, 1700 Monroe Street, Fort Myers, Florida 33901, and whose telephone number is (239) 533-1771, at least 7 days before your scheduled court appearance, or immediately upon receiving this notification if the time before the scheduled appearance is less than 7 days; if you are hearing or voice impaired, call 711.

IN WITNESS WHEREOF, I have hereunto set my hand and affixed the official seal of said Court at Lee County, Florida, this 18 day of June, 2024. Kevin C. Karnes as Clerk of the Circuit Court of Lee County, Florida (SEAL) By: K. Shoap DEPUTY CLERK

Anthony R. Smith, Esquire, the Plaintiff’s attorney, Tiffany & Bosco, P.A., 1201 S. Orlando Ave, Suite 430, Winter Park, FL 32789 June 21, 28, 2024 24-02552L

defendants or parties who are claiming to have any right, title or interest in and to the lands hereafter described Lee County, Florida: Lot 362 of that certain subdivision known as LAZY DAYS MOBILE VILLAGE, UNIT TWO, according to the map or plat thereof on file and recorded in the office of the Clerk of the Circuit Court of Lee County, Florida in Official Records Book 1011, at Page(s) 1851.

Together with that certain 1978 Barrington Mobile Home, ID#(s) FLFL2A813331159 and FLFL2B813331159, Title #: 15927491 and Title #: 15927492. Property Tax ID#: 26-43-24-0500000.3620 Street Address: 647 Future Drive, North Fort Myers, Florida 33917 YOU, AND EACH OF YOU, ARE HEREBY NOTIFIED that a suit to quiet title to the above described property has been filed against you and you are required to serve a copy of your written defenses, if any, to it on Alexis M. Faulkner, Esquire, Plaintiff’s Attorney, of the law firm of Jones, Haber & Rollings, whose address is 1633 SE 47th Terrace, Cape Coral, Florida 33904 and file the original with the Clerk of this Court on or before July 29, 2024; otherwise the allegations of the Complaint will be taken as confessed.

This Notice shall be published once a week for four consecutive weeks in Fort Myers, Florida.

Dated: 06/18/2024

KEVIN C. KARNES, Clerk of Circuit Court (SEAL) By: N. Watson Deputy Clerk Alexis M. Faulkner, Esquire, Plaintiff’s Attorney, Jones, Haber & Rollings, 1633 SE 47th Terrace, Cape Coral, Florida 33904

Jun. 21, 28; Jul. 5, 12, 2024 24-02551L

NOTICE OF ACTION IN THE COUNTY COURT OF THE TWENTIETH JUDICIAL CIRCUIT IN AND FOR LEE COUNTY, FLORIDA CIVIL ACTION Case No. 2023-CA-13286 Judge: Michael T. McHugh PALMETTO LAND HOLDINGS, LLC, a Florida limited liability company, Plaintiff, v. THE UNKNOWN HEIRS OF OLAF E. HOWG, JR.; DANIE VICTOR ALEXANDRE; and all others claiming by, through or under OLAF E. HOWG, JR., Defendants. PALMETTO LAND HOLDINGS, LLC v. THE UNKNOWN HEIRS OF OLAF E. HOWG, JR., et al. TO: THE UNKNOWN HEIRS OF OLAF E. HOWG, JR. Last Known Addresses: 105 NW 4TH Avenue, Cohasset, MN 55721-8655 YOU ARE NOTIFIED that an action to quiet title on the following property in Lee County, Florida: Lot 1, Block 34, Unit 4, Section 11, LEHIGH ACRES, according to the map or plat thereof on file in the office of the Clerk of the Circuit Court, recorded in Plat Book 15 page 60, Public Records of Lee County, Florida.

NOTICE OF ACTION IN THE CIRCUIT COURT OF THE TWENTIETH JUDICIAL CIRCUIT OF FLORIDA, IN AND FOR LEE COUNTY CIVIL DIVISION Case No. 36-2024-CA-003061 MASTR ALTERNATIVE LOAN TRUST 2007-1, U.S. BANK NATIONAL ASSOCIATION, AS TRUSTEE Plaintiff, vs. ARTHUR F HACKETT, et al. Defendants. TO: UNKNOWN SPOUSE OF ARTHUR F HACKETT CURRENT RESIDENCE UNKNOWN LAST KNOWN ADDRESS 1312 SE 42ND ST CAPE CORAL, FL 33904 and 12334 N ELMS RD CLIO, MI 48420 9486 ARTHUR F HACKETT CURRENT RESIDENCE UNKNOWN LAST KNOWN ADDRESS 1312 SE 42ND ST CAPE CORAL, FL 33904 and 12334 N ELMS RD CLIO, MI 48420 9486 You are notified that an action to foreclose a mortgage on the following property in Lee County, Florida: LOTS 12 AND 13, BLOCK 306, UNIT 7, CAPE CORAL SUBDIVISION, ACCORDING TO THE PLAT THEREOF RECORDED IN PLAT BOOK 12, PAGES 101 THROUGH 128, INCLUSIVE OF THE PUBLIC RECORDS OF LEE COUNTY, FLORIDA. ALSO BY EXTENDING THE LOT LINE BETWEEN LOTS 11 AND 12, A DISTANCE OF 9.3 FEET IN THE SOUTHWESTERLY DIRECTION AND BY EXTENDING THE LOT LINE BETWEEN LOTS 13 AND 14, A DISTANCE OF 9.3 FEET IN THE SOUTHWESTERLY DIRECTION, THE AREA ENCLOSED BETWEEN THE BACK LOT LINE OF LOTS 12 AND 13 AND THE TWO EXTENSIONS PREVIOUSLY DESCRIBED CONNECTED BY

Commonly known as: 4704 Vera Avenue N., Lehigh Acres, Florida 33971 Parcel ID: 11-44-26-0400034.0010 (the “Property”). has been filed against you and you are required to serve a copy of your written defenses by the Lee County Clerk of Court’s scheduled default date of July 17, 2024 on Bradley W. Butcher, Plaintiff’s attorney, whose address is 6830 Porto Fino Circle, Ste. 2, Fort Myers, Florida 33912 and file the original with this Court either before service on

ALL CLAIMS NOT FILED WITHIN THE TIME PERIODS SET FORTH IN FLORIDA STATUTES SECTION 733.702 WILL BE FOREVER BARRED. NOTWITHSTANDING THE TIME PERIODS SET FORTH ABOVE, ANY CLAIM FILED TWO (2) YEARS OR MORE AFTER THE DECEDENT’S DATE OF DEATH IS BARRED. The date of first publication of this notice is June 21, 2024.

Personal Representative: /s/ Renee D. Heinrich Renee D. Heinrich 3416 S 34th Street Milwaukee, Wisconsin 53215

Attorney for Personal Representative: /s/ Eviana J. Martin Eviana J. Martin, Attorney Florida Bar Number: 36198 Martin Law Firm, PL 3701 Del Prado Blvd S. Cape Coral, Florida 33904

Telephone: (239) 443-1094

Fax: (941) 213-1231

E-Mail: eviana.martin@martinlawfirm.com June 21, 28, 2024 24-02556L

NOTICE OF FORECLOSURE SALE IN THE CIRCUIT COURT OF THE TWENTIETH JUDICIAL CIRCUIT IN AND FOR LEE COUNTY, FLORIDA CIVIL DIVISION CASE NO.: 24-CA-0344 BERNARD COMBE and SYLVIE COMBE, Plaintiffs, v. DELMA KOESSLER, individually; ROBERT KOESSLER, individually; REALTOR FINANCE CORPORATION, a Florida Corporation; I & R, LLC, a Florida Limited Liability Company; UNKNOWN TENANT #1; UNKNOWN TENANT #2; and ROYAL GREENS AT GATEWAY CONDOMINIUM ASSOCIATION, INC., a Florida Not For Profit Corporation, Defendants.

NOTICE IS HEREBY GIVEN pursuant to the Final Judgment of Lien Foreclosure, entered in Case No.: 24-CA-0344 of the Circuit Court of the Twentieth Judicial Circuit, in and for Lee County, Florida, wherein Bernard Combe and Slyvie Combe are the Plaintiffs and Delma Koessler, Robert Koessler, Realtor Finance Corporation, I & R, LLC, and Unknown Tenant #1 a/k/a Steve Montalvo are the Defendants, that I will sell to the highest and best bidder for cash at, www.lee.realforeclose.com, beginning at 9:00 a.m. on July 18, 2024, the following described property as set

THE WATER FACE OF THE CONSTRUCTED SEAWALL AMOUNTING TO 744 FEET, MORE OR LESS, ALL IN BLOCK 306, UNIT 7 OF THE CAPE CORAL SUBDIVISION, ACCORDING TO THE PLAT THEREOF AS RECORDED IN PLAT BOOK 12, PAGE 127 OF THE PUBLIC RECORDS OF LEE COUNTY, FLORIDA. commonly known as 1312 SE 42ND ST, CAPE CORAL, FL 33904 has been filed against you and you are required to serve a copy of your written defenses, if any, to it on Jennifer M. Scott of Kass Shuler, P.A., plaintiff’s attorney, whose address is P.O. Box 800, Tampa, Florida 33601, (813) 229-0900, within 30 days from the first date of publication, and file the original with the Clerk of this Court either before service on the Plaintiff’s attorney or immediately thereafter; otherwise, a default will be entered against you for the relief demanded in the Complaint. If you are a person with a disability who needs any accommodation in order to participate in this proceeding, you are entitled, at no cost to you, to the provision of certain assistance. Please contact Brooke Dean, Operations Division Manager, whose office is located at Lee County Justice Center, 1700 Monroe Street, Fort Myers, Florida 33901, and whose telephone number is (239) 533-1771, at least 7 days before your scheduled court appearance, or immediately upon receiving this notification if the time before the scheduled appearance is less than 7 days; if you are hearing or voice impaired, call 711. Dated: 06/13/2024

CLERK OF THE COURT Honorable Kevin C. Karnes 1700 Monroe Street Ft. Myers, Florida 33902

By: N. Watson Deputy Clerk Jennifer M. Scott of Kass Shuler, P.A., plaintiff’s attorney, P.O. Box 800, Tampa, Florida 33601, (813) 229-0900 298100/2425353/wlp June 21, 28, 2024 24-02510L

forth in said Final Judgment, to wit: Condominium Unit No. 503, Building 5, of ROYAL GREENS AT GATEWAY CONDOMINIUM, a Condominium, according to the Declaration of Condominium thereof, as recorded under Instrument Number 2006000154122, and any amendments thereto, if any, of the Public Records of Lee County, Florida, together with an undivided interest in the common elements, if any. STRAP: 18-45-26-1000005.0503 Property address: 11511 Villa Grand, #503, Fort Myers, FL 33913 Any person claiming an interest in the surplus from the sale, if any, other than the property owner as of the date of the lis pendens must file a claim before the clerk reports the surplus as unclaimed. Dated this day of 06/19/2024 Kevin C. Karnes As Clerk of the Court (SEAL) By: N. Watson As Deputy Clerk Freidin & Inglis, P.A. Howard Freidin, Esq. Attorney for Plaintiffs 2445 McGregor Boulevard Fort Myers, FL 33901 howard@filegal.com fiassistant@filegal.com June 21, 28, 2024 24-02558L

24 JUNE 21 - JUNE 27, 2024 BUSINESS OBSERVER LEE COUNTY --- ACTIONS ---
Plaintiff’s attorney, or immediately thereafter; otherwise a default will be entered against you for the relief demanded in the Complaint or petition. This notice shall be published once a week for four (4) consecutive weeks in the Business Observer Dated this 17th day of June, 2024. CLERK OF THE CIRCUIT COURT (SEAL) KEVIN C. KARNES Lee County Clerk of Court By: K. Harris as Deputy Clerk Butcher & Associates, P.L. 6830 Porto Fino Circle, Ste. 2 Fort Myers, Florida 33912 Jun. 21, 28; Jul. 5, 12, 2024 24-02528L
FIRST INSERTION FIRST INSERTION FIRST INSERTION FIRST INSERTION FIRST INSERTION FIRST INSERTION
address of which is 1700 Monroe St, Ft. Myers, FL 33901. The names and addresses of the personal representative and the personal representative’s attorney are set forth below. All creditors of the decedent and other persons having claims or demands against decedent’s estate on whom a copy of this notice is required to be served must file their claims with this court ON OR BEFORE THE LATER OF 3 MONTHS AFTER THE TIME OF THE FIRST PUBLICATION OF THIS NOTICE OR 30 DAYS AFTER THE DATE OF SERVICE OF A COPY OF THIS NOTICE ON THEM. All other creditors of the decedent and other persons having claims or demands against decedent’s estate must file their claims with this court WITHIN 3 MONTHS AFTER THE DATE OF THE FIRST PUBLICATION OF THIS NOTICE.
File
Division
OF SHERYL JEAN FITZGIBBON Deceased. The administration of the estate of Sheryl Jean Fitzgibbon, deceased, whose date of death was May 18, 2024, is pending in the Circuit Court for Lee County, Florida, Probate Division, the
FIRST INSERTION FIRST INSERTION

NOTICE OF ACTION

IN THE CIRCUIT COURT OF THE TWENTIETH JUDICIAL CIRCUIT IN AND FOR LEE COUNTY, FLORIDA

CIVIL ACTION

Case No. 2024-CA-3361

Judge: Alane C. Laboda

OTHON CONSTRUCTION CORP., a Florida corporation, Plaintiff, v. THE UNKNOWN HEIRS OF NOAH RAY HUTCHERSON; THE UNKNOWN HEIRS OF IRA M. PARKS; THE UNKNOWN HEIRS OF BEVERLY GUIDO; BUILT TO RETIRE, LLC, Utah limited liability company; THE UNKNOWN HEIRS OF DON B. ADAMSON; THE UNKNOWN HEIRS OF RENATE M. ADAMSON; and all others claiming by, through or under these Defendants, Defendants.

TO: THE UNKNOWN HEIRS OF IRA M. PARKS Last Known Addresses: 1644 Overhill Road, Columbia, SC 29223

YOU ARE NOTIFIED that an action to quiet title on the following property in Lee County, Florida: Lot 1 and 2, Block 25, Unit 4, Section 14, Township 45 South, Range 27 East, Lehigh Acres, according to the map or plat thereof on file in the Office of the Clerk of the Circuit Court, recorded in Plat Book 15, Page 134, Public Records, Lee County, Florida. Address: 1037 & 1039 Kellogg Street E, Leigh Acres, FL 33971 Parcel IDS: 14-45-27-L204025.0010 and 14-45-27-L204025.0020

NOTICE OF ACTION IN THE CIRCUIT COURT OF THE TWENTIETH JUDICIAL CIRCUIT IN AND FOR LEE COUNTY, FLORIDA

CIVIL ACTION

Case No. 2024-CA-3361

Judge: Alane C. Laboda

OTHON CONSTRUCTION CORP., a Florida corporation, Plaintiff, v. THE UNKNOWN HEIRS OF NOAH RAY HUTCHERSON; THE UNKNOWN HEIRS OF IRA M. PARKS; THE UNKNOWN HEIRS OF BEVERLY GUIDO; BUILT TO RETIRE, LLC, Utah limited liability company; THE UNKNOWN HEIRS OF DON B. ADAMSON; THE UNKNOWN HEIRS OF RENATE M. ADAMSON; and all others claiming by, through or under these Defendants, Defendants.

TO: THE UNKNOWN HEIRS OF NOAH RAY HUTCHERSON Last Known Addresses: 5240 Bonnie Ruth Road, Trussville, AL 35173

YOU ARE NOTIFIED that an action to quiet title on the following property in Lee County, Florida: Lots 1 and 2, Block 26, Unit 5, Section 27, Township 45 South, Range 27 East, Lehigh Acres, according to the map or plat thereof on file in the Office of the Clerk of the Circuit Court, recording in Plat Book 18, Page 120, Public Records, Lee County, Florida. Address: 710 & 712 Almelia

Street E, Leigh Acres, FL 33971 Parcel IDS: 27-45-27-L105026.0010 and 27-45-27-L105026.0020

NOTICE OF ACTION IN THE CIRCUIT COURT OF THE TWENTIETH JUDICIAL CIRCUIT OF FLORIDA IN AND FOR LEE COUNTY GENERAL JURISDICTION DIVISION CASE NO. 24CA-002754 ADVANTA IRA SERVICES LLC FBO IRA #8006970 OBO NEIL PAULSON SR., Plaintiff, vs.

ROBERT JAMES SWEESY, AS TRUSTEE OF THE 11000-34 METRO PARKWAY LAND TRUST DATED DECEMBER 27, 2018, et al., Defendant. To: ANY AND ALL UNKNOWN PARTIES CLAIMING BY, THROUGH, UNDER, AND AGAINST THE 11000-34 METRO PARKWAY LAND TRUST DATED DECEMBER 27, 2018, WHETHER SAID UNKNOWN PARTIES MAY CLAIM AN INTEREST AS TRUSTEES, BENEFICIARIES, OR OTHER CLAIMANTS, 11000-34 METRO PARKWAY FT. MYERS, FL 33966 LAST KNOWN ADDRESS STATED, CURRENT RESIDENCE UNKNOWN YOU ARE HEREBY NOTIFIED that an action to foreclosure Mortgage covering the following real and personal property described as follows, to-wit UNIT NO 34 OF METRO PLACE COMMERCIAL CONDOMINIUM, TOGETHER WITH AN UNDIVIDED INTEREST IN THE COMMON ELEMENTS, ACCORDING TO THE DECLARATION

(the “Property”). has been filed against you and you are required to serve a copy of your written defenses by the Lee County Clerk of Court’s scheduled default date of July 29, 2024 on Bradley W. Butcher, Plaintiff’s attorney, whose address is 6830 Porto Fino Circle, Ste. 2, Fort Myers, Florida 33912 and file the original with this Court either before service on Plaintiff’s attorney, or immediately thereafter; otherwise a default will be entered against you for the relief demanded in the Complaint or petition. This notice shall be published once a week for four (4) consecutive weeks in the Business Observer. If you are a person with a disability who needs any accommodation in order to participate in this proceeding, you are entitled, at no cost to you, to the provision of certain assistance. Please contact Brooke Dean, Operations Division Manager, whose office is located at Lee County Justice Center, 1700 Monroe Street, Fort Myers, Florida 33901, and whose telephone number is (239) 533-1771, at least 7 days before your scheduled court appearance, or immediately upon receiving this notification if the time before the scheduled appearance is less than 7 days; if you are hearing or voice impaired, call 711.

Dated this 17th day of June, 2024.

CLERK OF THE CIRCUIT COURT (SEAL)

KEVIN C. KARNES

Lee County Clerk of Court (SEAL) By: K. Harris as Deputy Clerk Butcher & Associates, P.L. 6830 Porto Fino Circle, Ste. 2 Fort Myers, Florida 33912 Jun. 21, 28; Jul. 5, 12, 2024 24-02523L

(the “Property”). has been filed against you and you are required to serve a copy of your written defenses by the Lee County Clerk of Court’s scheduled default date of July 29, 2024 on Bradley W. Butcher, Plaintiff’s attorney, whose address is 6830 Porto Fino Circle, Ste. 2, Fort Myers, Florida 33912 and file the original with this Court either before service on Plaintiff’s attorney, or immediately thereafter; otherwise a default will be entered against you for the relief demanded in the Complaint or petition. This notice shall be published once a week for four (4) consecutive weeks in the Business Observer. If you are a person with a disability who needs any accommodation in order to participate in this proceeding, you are entitled, at no cost to you, to the provision of certain assistance. Please contact Brooke Dean, Operations Division Manager, whose office is located at Lee County Justice Center, 1700 Monroe Street, Fort Myers, Florida 33901, and whose telephone number is (239) 533-1771, at least 7 days before your scheduled court appearance, or immediately upon receiving this notification if the time before the scheduled appearance is less than 7 days; if you are hearing or voice impaired, call 711. Dated this 17th day of June, 2024. CLERK OF THE CIRCUIT COURT (SEAL) KEVIN C. KARNES Lee County Clerk of Court (SEAL) By: K. Harris as Deputy Clerk Butcher & Associates, P.L. 6830 Porto Fino Circle, Ste. 2 Fort Myers, Florida 33912 Jun. 21, 28; Jul. 5, 12, 2024 24-02522L

THEREOF RECORDED JANUARY 4, 1985 IN OFFICIAL RECORDS BOOK 1762, PAGES 11 THROUGH 66, INCLUSIVE, AND THE AMENDMENT THERETO TO ADD PHASE II RECORDED FEBRUARY 25, 1986 IN OFFICIAL RECORDS BOOK 1831, PAGES 85 THROUGH 89, INCLUSIVE, AND AS MAY BE FURTHER AMENDED, ALL IN THE PUBLIC RECORDS OF LEE COUNTY, FLORIDA. has been filed against you and you are required to fiel a copy of your written defenses, if any, to it, on Curtis Wilson, Esq., McCalla Raymer Leibert Pierce, LLC, 225 East Robinson Street, Suite 155, Orlando, FL 32801 and file the original with the Clerk of the abovestyled Court on or before 30 days from the first publication, otherwise a Judgment may be entered against you for the relied demanded in the Complaint. WITNESS my hand and seal of said Court on the 13th day of June, 2024. Kevin C. Karnes CLERK OF THE CIRCUIT COURT As Clerk of the Court (SEAL) BY: K. Harris Deputy Clerk MCCALLA RAYMER LEIBERT PIERCE, LLC 225 East Robinson Street, Suite 155, Orlando, FL 32801

Phone: (407) 674-1850 Fax: (321) 248-0420 Email: AccountsPayable@mccalla.com 24-09679FL June 21, 28, 2024 24-02519L

LEE COUNTY

NOTICE OF ACTION IN THE CIRCUIT COURT OF THE TWENTIETH JUDICIAL CIRCUIT IN AND FOR LEE COUNTY, FLORIDA CIVIL ACTION CASE NO. 24-CA-003235 WILLIAM R. WALKER, JR., Plaintiff(s), v. RUFUS KENNETH HAWKINS and AURELIA TRZCINSKI HAWKINS, and any unknown heirs, devisees, grantees, creditors, and other unknown persons or unknown spouses claiming by, through and thereunder, Defendant(s). TO: RUFUS KENNETH HAWKINS and AURELIA TRZCINSKI HAWKINS, and any unknown heirs, devisees, grantees, creditors, and other unknown persons or unknown spouses claiming by, through and thereunder

You are notified that an action to Quiet Title has been initiated on the following property in Lee County, Florida: LOT(S) 2 AND 3, BLOCK 13, UNIT 2, PLAT OF SECTION 12, TOWNSHIP 44 SOUTH, RANGE 26 EAST, A SUBDIVISION OF LEHIGH ACRES, ACCORDING TO THE MAP OR PLAT THEREOF, AS RECORD-

NOTICE OF ACTION IN THE CIRCUIT COURT OF THE TWENTIETH JUDICIAL CIRCUIT IN AND FOR LEE COUNTY, FLORIDA

CIVIL ACTION CASE NO.: 24-CA-2045

PROMISED SKY ALF INC., a Florida Corporation Plaintiff, -vs-

GROVER ELERIAL FIELDS, JESSE

ROBERT FIELDS, RANDY LEE FIELDS, and JUDITH LEE SMART, and all other parties claiming by, through, under and against it; and all unknown natural persons, if alive and of not known to be dead or alive, their several and respective spouses, heirs, devisees, grantees, and creditors or other parties claiming by, through or under those unknown natural persons and its several unknown assigns, successors in interest, trustees, or any other persons claiming by, through, under or against any corporation or other legal entity named as defendant; and all claimants, persons or parties natural or corporate whose exact status is unknown, claiming under any of the above named or described defendants or parties who are claiming to have any right, title or interest in and to the lands hereafter described, Defendants.

TO GROVER ELERIAL FIELDS and all other parties claiming by, through, under or against them; and all unknown natural persons, if alive and if not known to be dead or alive, their several and respective spouses, heirs, devisees, grantees, and creditors or other parties claiming by, through or under those unknown natural persons and their several unknown assigns, successors in interest, trustees, or any other persons claiming by, through, under or against any corporation or other legal entity named as a defendant; and all claimants, persons or parties natural or corporate whose exact status is unknown, claiming under any of the above

NOTICE OF ACTION IN THE CIRCUIT COURT OF THE TWENTIETH JUDICIAL CIRCUIT IN AND FOR LEE COUNTY, FLORIDA

CIVIL ACTION

Case No. 2024-CA-3361

Judge: Alane C. Laboda OTHON CONSTRUCTION CORP., a Florida corporation, Plaintiff, v. THE UNKNOWN HEIRS OF NOAH RAY HUTCHERSON; THE UNKNOWN HEIRS OF IRA M. PARKS; THE UNKNOWN HEIRS OF BEVERLY GUIDO; BUILT TO RETIRE, LLC, Utah limited liability company; THE UNKNOWN HEIRS OF DON B. ADAMSON; THE UNKNOWN HEIRS OF RENATE M. ADAMSON; and all others claiming by, through or under these Defendants, Defendants. TO: THE UNKNOWN HEIRS OF BEVERLY GUIDO Last Known Addresses: 5860 NE 22nd Avenue, Fort Lauderdale, FL 33308

YOU ARE NOTIFIED that an action to quiet title on the following property in Lee County, Florida: Lot 15, Block 3, Unit 2, Section 3, TWIN LAKE ESTATES, Township 45 South, Range 27 East, Lehigh Acres, according to the map or plat thereof on file in the Office of the Clerk of the Circuit Court, recorded in Plat Book 15, Page 208, Public Records, Lee County, Florida. Address: 829 Porter Street E, Leigh Acres, FL 33974 Parcel ID: 03-45-27-L202003.0150 (the “Property”).

ED IN PLAT BOOK 15, PAGE(S) 61, OF THE PUBLIC RECORDS OF LEE COUNTY, FLORIDA. Parcel ID: 12-44-26-0200013.0020 Commonly known as 3015 58th Street W, Lehigh Acres, FL 33971 And has been filed against you, RUFUS KENNETH HAWKINS and AURELIA TRZCINSKI HAWKINS, and you are required to serve a copy of your written defense(s), if any, to such action upon Adrian R. Lynn, Esquire, the Plaintiff’s attorney, whose address is P.O. Box 309, Estero, Florida 33929, by July 29, 2024 and file the original with the clerk of this court either before the service upon Plaintiff’s attorney or immediately thereafter; otherwise a default will be entered against you for the relief demanded in the Complaint or Petition. Dated this 06/18/2024

KEVIN C. KARNES Clerk of Court (SEAL) By: K. Harris Deputy Clerk

Adrian R. Lynn, Esquire, the Plaintiff’s attorney, P.O. Box 309, Estero, Florida 33929 Jun. 21, 28; Jul. 5, 12, 2024 24-02538L

named or described defendants or parties who are claiming to have any right, title or interest in and to the lands hereafter described Lee County, Florida: Lot 362 of that certain subdivision known as LAZY DAYS MOBILE VILLAGE, UNIT TWO, according to the map or plat thereof on file and recorded in the office of the Clerk of the Circuit Court of Lee County, Florida in Official Records Book 1011, at Page(s) 1851.

Together with that certain 1978 Barrington Mobile Home, ID#(s) FLFL2A813331159 and FLFL2B813331159, Title #: 15927491 and Title #: 15927492. Property Tax ID#: 26-43-24-0500000.3620

Street Address: 647 Future Drive, North Fort Myers, Florida 33917 YOU, AND EACH OF YOU, ARE HEREBY NOTIFIED that a suit to quiet title to the above described property has been filed against you and you are required to serve a copy of your written defenses, if any, to it on Alexis M. Faulkner, Esquire, Plaintiff’s Attorney, of the law firm of Jones, Haber & Rollings, whose address is 1633 SE 47th Terrace, Cape Coral, Florida 33904 and file the original with the Clerk of this Court on or before July 29, 2024; otherwise the allegations of the Complaint will be taken as confessed.

This Notice shall be published once a week for four consecutive weeks in Fort Myers, Florida.

Dated: 06/18/2024

KEVIN C. KARNES, Clerk of Circuit Court (SEAL) By: N. Watson Deputy Clerk Alexis M. Faulkner, Esquire, Plaintiff’s Attorney, Jones, Haber & Rollings, 1633 SE 47th Terrace, Cape Coral, Florida 33904 Jun. 21, 28; Jul. 5, 12, 2024 24-02548L

has been filed against you and you are required to serve a copy of your written defenses by the Lee County Clerk of Court’s scheduled default date of July 29, 2024 on Bradley W. Butcher, Plaintiff’s attorney, whose address is 6830 Porto Fino Circle, Ste. 2, Fort Myers, Florida 33912 and file the original with this Court either before service on Plaintiff’s attorney, or immediately thereafter; otherwise a default will be entered against you for the relief demanded in the Complaint or petition. This notice shall be published once a week for four (4) consecutive weeks in the Business Observer.

If you are a person with a disability who needs any accommodation in order to participate in this proceeding, you are entitled, at no cost to you, to the provision of certain assistance. Please contact Brooke Dean, Operations Division Manager, whose office is located at Lee County Justice Center, 1700 Monroe Street, Fort Myers, Florida 33901, and whose telephone number is (239) 533-1771, at least 7 days before your scheduled court appearance, or immediately upon receiving this notification if the time before the scheduled appearance is less than 7 days; if you are hearing or voice impaired, call 711. Dated this 17th day of June, 2024. CLERK OF THE CIRCUIT COURT (SEAL) KEVIN C. KARNES Lee County Clerk of Court (SEAL) By: K. Harris as Deputy Clerk Butcher & Associates, P.L. 6830 Porto Fino Circle, Ste. 2 Fort Myers, Florida 33912 Jun. 21, 28; Jul. 5, 12, 2024 24-02524L

NOTICE OF ACTION IN THE COUNTY COURT OF THE TWENTIETH JUDICIAL CIRCUIT IN AND FOR LEE COUNTY, FLORIDA CIVIL ACTION Case No. 2023-CA-13286 Judge: Michael T. McHugh PALMETTO LAND HOLDINGS, LLC, a Florida limited liability company, Plaintiff, v. THE UNKNOWN HEIRS OF OLAF E. HOWG, JR.; DANIE VICTOR ALEXANDRE; and all others claiming by, through or under OLAF E. HOWG, JR., Defendants. PALMETTO LAND HOLDINGS, LLC v. THE UNKNOWN HEIRS OF OLAF E. HOWG, JR., et al. TO: DANIE VICTOR ALEXANDRE. Last Known Addresses: 2566 SW Feroe Avenue, Apt. 2, Palm City, FL 34990 YOU ARE NOTIFIED that an action to quiet title on the following property in Lee County, Florida: Lot 1, Block 34, Unit 4, Section 11, LEHIGH ACRES, according to the map or plat thereof on file in the office of the Clerk of the Circuit Court, recorded in Plat Book 15 page 60, Public Records of Lee County, Florida.

NOTICE OF ACTION IN THE CIRCUIT COURT OF THE TWENTIETH JUDICIAL CIRCUIT IN AND FOR LEE COUNTY, FLORIDA CIVIL ACTION CASE NO.: 24-CA-2045 PROMISED SKY ALF INC., a Florida Corporation Plaintiff, -vsGROVER ELERIAL FIELDS, JESSE ROBERT FIELDS, RANDY LEE FIELDS, and JUDITH LEE SMART, and all other parties claiming by, through, under and against it; and all unknown natural persons, if alive and of not known to be dead or alive, their several and respective spouses, heirs, devisees, grantees, and creditors or other parties claiming by, through or under those unknown natural persons and its several unknown assigns, successors in interest, trustees, or any other persons claiming by, through, under or against any corporation or other legal entity named as defendant; and all claimants, persons or parties natural or corporate whose exact status is unknown, claiming under any of the above named or described defendants or parties who are claiming to have any right, title or interest in and to the lands hereafter described, Defendants. TO RANDY LEE FIELDS and all other parties claiming by, through, under or against them; and all unknown natural persons, if alive and if not known to be dead or alive, their several and respective spouses, heirs, devisees, grantees, and creditors or other parties claiming by, through or under those unknown natural persons and their several unknown assigns, successors in interest, trustees, or any other persons claiming by, through, under or against any corporation or other legal entity named as a defendant; and all claimants, persons or parties natural or corporate whose exact status is unknown, claiming under any of the above named or

NOTICE OF ACTION IN THE CIRCUIT COURT OF THE TWENTIETH JUDICIAL CIRCUIT IN AND FOR LEE COUNTY, FLORIDA CIVIL ACTION Case No. 2024-CA-3361

Judge: Alane C. Laboda OTHON CONSTRUCTION CORP., a Florida corporation, Plaintiff, v. THE UNKNOWN HEIRS OF NOAH RAY HUTCHERSON; THE UNKNOWN HEIRS OF IRA M. PARKS; THE UNKNOWN HEIRS OF BEVERLY GUIDO; BUILT TO RETIRE, LLC, Utah limited liability company; THE UNKNOWN HEIRS OF DON B. ADAMSON; THE UNKNOWN HEIRS OF RENATE M. ADAMSON; and all others claiming by, through or under these Defendants, Defendants. TO: THE UNKNOWN HEIRS OF RENATE M. ADAMSON Last Known Addresses: 2831 S. 24th Street W., Muskogee, OK 74401 YOU ARE NOTIFIED that an action to quiet title on the following property in Lee County, Florida: LOTS 17 AND 18, BLOCK 24, UNIT 2, SECTION 24, TOWNSHIP 45 SOUTH, RANGE 27 EAST, LEHIGH ACRES, ACCORDING TO THE MAP OR PLAT THEREOF, AS RECORDED IN PLAT BOOK 18, PAGE 91, OF THE PUBLIC RECORDS OF LEE COUNTY, FLORIDA. Address: 1145 Florence Street E., Leigh Acres, FL 33974 Parcel ID: 24-45-27-L102024.0170 (the “Property”).

Commonly known as: 4704 Vera Avenue N., Lehigh Acres, Florida 33971 Parcel ID: 11-44-26-0400034.0010 (the “Property”). has been filed against you and you are required to serve a copy of your written defenses by the Lee County Clerk of Court’s scheduled default date of July 29, 2024 on Bradley W. Butcher, Plaintiff’s attorney, whose address is 6830 Porto Fino Circle, Ste. 2,

described defendants or parties who are claiming to have any right, title or interest in and to the lands hereafter described Lee County, Florida: Lot 362 of that certain subdivision known as LAZY DAYS MOBILE VILLAGE, UNIT TWO, according to the map or plat thereof on file and recorded in the office of the Clerk of the Circuit Court of Lee County, Florida in Official Records Book 1011, at Page(s) 1851. Together with that certain 1978 Barrington Mobile Home, ID#(s) FLFL2A813331159 and FLFL2B813331159, Title #: 15927491 and Title #: 15927492. Property Tax ID#: 26-43-24-0500000.3620 Street Address: 647 Future Drive, North Fort Myers, Florida 33917 YOU, AND EACH OF YOU, ARE HEREBY NOTIFIED that a suit to quiet title to the above described property has been filed against you and you are required to serve a copy of your written defenses, if any, to it on Alexis M. Faulkner, Esquire, Plaintiff’s Attorney, of the law firm of Jones, Haber & Rollings, whose address is 1633 SE 47th Terrace, Cape Coral, Florida 33904 and file the original with the Clerk of this Court on or before July 29, 2024; otherwise the allegations of the Complaint will be taken as confessed. This Notice shall be published once a week for four consecutive weeks in Fort Myers, Florida.

Dated: 06/18/2024

KEVIN C. KARNES, Clerk of Circuit Court (SEAL) By: N. Watson Deputy Clerk Alexis M. Faulkner, Esquire, Plaintiff’s Attorney, Jones, Haber & Rollings, 1633 SE 47th Terrace, Cape Coral, Florida 33904 Jun. 21, 28; Jul. 5, 12, 2024 24-02549L

has been filed against you and you are required to serve a copy of your written defenses by the Lee County Clerk of Court’s scheduled default date of July 29, 2024 on Bradley W. Butcher, Plaintiff’s attorney, whose address is 6830 Porto Fino Circle, Ste. 2, Fort Myers, Florida 33912 and file the original with this Court either before service on Plaintiff’s attorney, or immediately thereafter; otherwise a default will be entered against you for the relief demanded in the Complaint or petition. This notice shall be published once a week for four (4) consecutive weeks in the Business Observer. If you are a person with a disability who needs any accommodation in order to participate in this proceeding, you are entitled, at no cost to you, to the provision of certain assistance. Please contact Brooke Dean, Operations Division Manager, whose office is located at Lee County Justice Center, 1700 Monroe Street, Fort Myers, Florida 33901, and whose telephone number is (239) 533-1771, at least 7 days before your scheduled court appearance, or immediately upon receiving this notification if the time before the scheduled appearance is less than 7 days; if you are hearing or voice impaired, call 711.

Dated this 17th day of June, 2024. CLERK OF THE CIRCUIT COURT (SEAL) KEVIN C. KARNES Lee County Clerk of Court (SEAL) By:

25 JUNE 21 - JUNE 27, 2024 BusinessObserverFL.com
Deputy
Ste. 2 Fort Myers, Florida 33912 Jun. 21, 28; Jul. 5, 12, 2024 24-02526L
K. Harris as
Clerk Butcher & Associates, P.L. 6830 Porto Fino Circle,
for the relief demanded in the Complaint or petition. This notice shall be published once a week for four (4) consecutive weeks in the Business Observer Dated this 17th day of June, 2024. CLERK OF THE CIRCUIT COURT (SEAL) KEVIN C. KARNES Lee County Clerk of Court By: K. Harris as Deputy Clerk Butcher & Associates, P.L. 6830 Porto Fino Circle, Ste. 2 Fort Myers, Florida 33912 Jun. 21, 28; Jul. 5, 12, 2024 24-02529L
Fort Myers, Florida 33912 and file the original with this Court either before service on Plaintiff’s attorney, or immediately thereafter; otherwise a default will be entered against you
--- ACTIONS --FIRST INSERTION FIRST INSERTION FIRST INSERTION FIRST INSERTION FIRST INSERTION FIRST INSERTION FIRST INSERTION FIRST INSERTION FIRST INSERTION

Why Public Notice Should Remain in Newspapers

Along with open meeting and freedom of information laws, public notice is an essential element of the three-legged stool of government transparency

This is not about “newspapers vs the internet”. It’s newspapers and newspaper websites vs government websites and newspaper websites have a much larger audience. Moving notice from newspapers to government websites would reduce the presence of public notices on the internet

Since the first U.S. Congress, public officials have understood that newspapers are the best medium to notify the public about official matters because they contain the essential elements of public notice:

Accessibility

Independence

Verifiability

Archivability vs

Requiring independent, third-party newspapers to ensure that public notices run in accordance with the law helps prevent government officials from hiding information they would prefer the public not to see

Types Of Public Notices

Citizen Participation Notices

Government Meetings and Hearings

Meeting Minutes or Summaries

Agency Proposals

Proposed Budgets and Tax Rates

Land and Water Use

Creation of Special Tax Districts

School District Reports

Zoning, Annexation and Land Use Changes

Publishing notices on the internet is neither cheap nor free

Newspapers remain the primary vehicle for public notice in all 50 states

Commercial NoticesCourt Notices

Unclaimed Property, Banks or Governments

Delinquent Tax Lists, Tax Deed Sales

Government Property Sales

Permit and License Applications

Mortgage Foreclosures

Name Changes

Probate Rulings

Divorces and Adoptions

Orders to Appear in Court

Stay Informed, It’s Your Right to Know.

For legal notice listings go to: Legals.BusinessObserverFL.com

To publish your legal notice call: 941-906-9386 or Legal@BusinessObserverFL.com

26 JUNE 21 - JUNE 27, 2024 BUSINESS OBSERVER LEE COUNTY
Open Meetings
XNLV18187
Public Notice FOIA

Newsprint is inherently superior to the internet for public notice because reading a newspaper is a serendipitous process.

We find things in newspapers we weren’t expecting to see. On the internet, we search for specific information and ignore everything else.

Citizens continue to learn about vital civic matters from newspaper notices.

Documented examples of people taking action and alerting their community after reading a newspaper notice are reported on a regular basis.

Verifying publication is difficult-to-impossible on the web.

That’s why the courts subject digital evidence to far greater scrutiny than evidence published in newspapers

Types Of Public Notices

Citizen Participation Notices

Government Meetings and Hearings

Meeting Minutes or Summaries

Agency Proposals

Proposed Budgets and Tax Rates

Land and Water Use

Creation of Special Tax Districts

School District Reports

Zoning, Annexation and Land Use Changes

Significant numbers of people in rural areas still lack highspeed internet access.

Those who are older than 65 or who have lower incomes or lack high-school diplomas are also cut off from the internet in far higher numbers than the average.

Moreover, the real digital divide for public notice is growing due to the massive migration to smartphones and other small-screen digital devices

Governments aren’t very good at publishing information on the internet.

Unlike newspaper publishers, public officials aren’t compelled by the free market to operate effective websites. Grade

Commercial NoticesCourt Notices

Unclaimed Property, Banks or Governments

Delinquent Tax Lists, Tax Deed Sales

Government Property Sales

Permit and License Applications

Mortgage Foreclosures

Name Changes

Probate Rulings

Divorces and Adoptions

Orders to Appear in Court

Stay Informed, It’s Your Right to Know. For legal notice listings go to: Legals.BusinessObserverFL.com

To publish your legal notice call: 941-906-9386 or Legal@BusinessObserverFL.com

27 JUNE 21 - JUNE 27, 2024 BusinessObserverFL.com LEE COUNTY
XNLV18187

SECOND INSERTION

NOTICE OF PUBLIC SALE

Desoto Holdings, Inc. gives notice and intent to sell, for nonpayment of storage fees per FL Statutes 715.104, 715.106 & 715.109 by John Magnuson, Cyclone Cooling LLC, & Registered Agents Inc. for the following vehicle on 06/28/2024 at 8:30AM at 1665 Colonial Blvd, Fort Myers, FL 33907. Said Landlord reserves the right to accept or reject any and all bids.

2021 JEEP

VIN# 1C4RJEAG3MC681448

June 14, 21, 2024 24-02397L

SECOND INSERTION

NOTICE OF PUBLIC SALE

Notice is hereby given that on 6/28/2024 at 10:30 am, the following mobile home will be sold at public auction pursuant to F.S. 715.109. 1988 HARB HS PH21385AFL & PH21385BFL . Last Tenants: DAVID A DRIFTMEYER and all unknown parties beneficiaries heirs . Sale to be at MHC BUCCANEER ESTATES LLC, 2210 N TAMIAMI TR, NORTH FORT MYERS, FL 33903. 813282-5925. June 14, 21, 2024 24-02409L

SECOND INSERTION

NOTICE OF PUBLIC SALE

Notice is hereby given that on 6/28/2024 at 10:30 am, the following mobile home will be sold at public auction pursuant to F.S. 715.109. 1999 SKYL HS 8U620344LA & 8U620344LB . Last Tenants: CHRISTOPHER MATTHEW URBANSKI, AND ERIN CHRISTINE MITCHELL and all unknown parties beneficiaries heirs . Sale to be at ISLAND VISTA ESTATES LLC, 3000 N TAMIAMI TRAIL, N FORT MYERS, FL 33903. 813-282-6754. June 14, 21, 2024 24-02404L

SECOND INSERTION

NOTICE OF PUBLIC SALE

Notice is hereby given that on 6/28/2024 at 10:30 am, the following mobile home will be sold at public auction pursuant to F.S. 715.109. 1982 CRES HS V3938A & V3938B . Last Tenants: JAMES A SHEPHARD and all unknown parties beneficiaries heirs . Sale to be at RIVERS MHC LLC, 16700 SLATER RD, N FORT MYERS, FL 33912. 813-241-8269. June 14, 21, 2024 24-02422L

SECOND INSERTION

NOTICE OF PUBLIC SALE

Notice is hereby given that on 6/28/2024 at 10:30 am, the following mobile home will be sold at public auction pursuant to F.S. 715.109. 1987 MERI HS TW252FK23768A & TW252FK23768B . Last Tenants: ROBERT SIDOCK AND BARBARA SIDOCK and all unknown parties beneficiaries heirs . Sale to be at MHC LAKE FAIRWAYS LLC, 16361 N CLEVELAND AVENUE, NORTH FORT MYERS, FL 33903. 813-282-6754. June 14, 21, 2024 24-02402L

SECOND INSERTION

NOTICE OF PUBLIC SALE

Notice is hereby given that on 6/28/2024 at 10:30 am, the following mobile home will be sold at public auction pursuant to F.S. 715.109. 1970 LYNN HS 07403031AL & 07403031BL . Last Tenants: PATRICIA A ANDERSON-WOOD, SHARON LEE PARISE, JOSEPH T HUNT JR, AND UNKNOWN PARTY OR PARTIES IN POSSESSION and all unknown parties beneficiaries heirs . Sale to be at MHC WINDMILL VILLAGE LLC, 16131 N CLEVELAND AVE, NORTH FT MYERS, FL 33903. 813-282-6754. June 14, 21, 2024 24-02405L

SECOND INSERTION

NOTICE OF PUBLIC SALE

Notice is hereby given that on 6/28/2024 at 10:30 am, the following mobile home will be sold at public auction pursuant to F.S. 715.109. 1982 RICH HS N11658A & N11658B . Last Tenants: MARILYN D STEELE AND MALLENE STEELE KENDALL and all unknown parties beneficiaries heirs . Sale to be at ISLAND VISTA ESTATES LLC, 3000 N TAMIAMI TRAIL, N FORT MYERS, FL 33903. 813-2826754. June 14, 21, 2024 24-02403L

FOURTH INSERTION

NOTICE OF ACTIONCONSTRUCTIVE SERVICE (PROPERTY) IN THE CIRCUIT COURT OF THE 20TH JUDICIAL CIRCUIT IN AND FOR LEE COUNTY, FLORIDA CASE NO. 24-CA-003427

ADD VALUE DEVELOPMENT, LLC, Plaintiff, vs. WRA VDL 106, LLC, Defendant. To: WRA VDL 106, LLC, 24270 Meadow Drive NW, Calgary, AB T3R 1A8 YOU ARE HEREBY NOTIFIED that an action to quiet title on the following property in Lee County, Florida: Lots 15 and 16, Block 2715, of CAPE CORAL SUBDIVISION UNIT 39, according to the Plat thereof, as recorded in Plat Book 16, Page 143, Public Records of Lee County, Florida. has been filed against you and you are required to serve a copy of your written defenses, if any, to it on Dane T.

Stanish, Esq., attorney for Add Value Development, LLC, whose address is 3475 Sheridan Street, Suite 209, Hollywood, FL 33021, and file the original with the Clerk of the above-styled Court on or before July 03, 2024, otherwise a default will be entered against you for the relief prayed for in the complaint or petition. This notice shall be published once a week for four consecutive weeks. WITNESS my hand and seal of said Court at Ft. Myers, Florida, on this 05/24/2024.

KEVIN C. KARNES As Clerk of said Court (SEAL) By K. Harris Deputy Clerk Dane T. Stanish, Esq., 3475 Sheridan St., Ste 209, Hollywood, FL 33021 (954-923-0524) May 31; June 7, 14, 21, 2024 24-02216L

THIRD INSERTION

NOTICE OF ACTION IN THE CIRCUIT COURT OF THE TWENTIETH JUDICIAL CIRCUIT IN AND FOR LEE COUNTY, FLORIDA CASE NO.: 24-CA-1890 FLORIDA DREAM LANDS, LLC., a Florida Limited Liability Company, Plaintiff, vs. Q TERRA SALES INC., et al., Defendant(s).

TO: MAVES M. YOUNGBLOOD, if alive and if not his unknown spouse, heirs, devisees, grantees, creditors, or other parties claiming by, through, under or against MAVES M. YOUNGBLOOD; BLANCA M. MARTINEZ, (a/k/a Blanca M. Aguilar), if alive and if not her unknown spouse, heirs, devisees, grantees, creditors, or other parties claiming by, through, under or against BLANCA M. MARTINEZ; THE UNKNOWN HEIRS, BENEFICIARIES, DEVISEES, GRANTEES, ASSIGNEES, LIENORS, CREDITORS, TRUSTEES, AND ALL OTHERS WHO MAY CLAIM AN INTEREST IN THE ESTATE OF ENRIQUE L. MARTINEZ, YOU ARE NOTIFIED that an action to quiet title to the following property in Lee County, Florida: A. LOT 11, BLOCK 41, UNIT 7, SECTION 20, TOWNSHIP

SUBSEQUENT INSERTIONS

THIRD INSERTION

NOTICE OF ACTION IN THE CIRCUIT COURT OF THE TWENTIETH JUDICIAL CIRCUIT IN AND FOR LEE COUNTY, FLORIDA

CIVIL ACTION Case No: 24-CA-1137

CORIN DICKERSON

Plaintiff, vs. MTS CONSTRUCTION, INC. and KYLE VELOZ Defendants.

TO: KYLE VELOZ

... if alive, and if dead, and all unknown natural persons, if alive, and if dead or not known to be dead or alive, their several and respective unknown spouses, heirs, devisees, grantees, and creditors, or other parties claiming by, through, or under those unknown natural persons; and the several and respective unknown assigns, successors in interest, trustees; and all claimants, persons or parties, natural or corporate, or whose exact legal status is unknown, claiming under any of the above named or described defendants or parties or claiming to have any right, title, or interest in and to the property described as unpaid commission.

YOU ARE NOTIFIED that an action for a Breach of Contract, Florida’s Deceptive and Unfair Trade Practices Act, Civil Theft and Unjust Enrichment (in the alternative) has been instituted against you.

YOU ARE REQUIRED to serve a copy of your written defenses, if any, to this action on Leon G. Rendeiro, Attorney, whose address is 1714 Cape Coral Parkway East, Cape Coral, Florida 33904 on or before July 10, 2024 and file the original with the Clerk of this Court either before service on Plaintiff’s attorney or immediately thereafter; otherwise a default will be entered against you for the relief demanded in the Complaint.

Date: 05/31/2024

Kevin C. Karnes As Clerk of Court (SEAL) By: K. Harris Deputy Clerk

Leon G. Rendeiro, Attorney, 1714 Cape Coral Parkway East, Cape Coral, Florida 33904

June 7, 14, 21, 28, 2024 24-02271L

SECOND INSERTION

NOTICE OF ACTION IN THE CIRCUIT COURT OF THE TWENTIETH JUDICIAL CIRCUIT, IN AND FOR LEE COUNTY, FLORIDA

Case No.: 19-DR-002680 Division: FAMILY SANDRA YECENIA HERNANDEZ PENA, Petitioner, and SAMUEL CARDENASMALDONADO, Respondent. TO: Samuel Cardenas- Maldonado 87 Gandy Avenue Taylors, SC 29687-2582

You are notified that an action for dissolution of marriage has been filed against you and you are required to serve a copy of your written defenses, if any, to it on Law Offices of Juan J. Mendoza, LLC., whose address is 27299 Riverview Center Blvd., Suite 102, Bonita Springs, FL 34134, on or before July 16, 2024. You must file the original with the clerk of this court either before service on petitioner’s attorney or immediately after service. Otherwise, a default will be entered against you for the relief demanded in the petition. Clerk’s Office Address: 1700 Monroe Street, Fort Myers, FL 33901 06/06/2024

Kevin C. Karnes As Clerk of the Court (SEAL) By: J. Collins Deputy Clerk Jun. 14, 21, 28; Jul. 5, 2024 24-02389L

FOURTH INSERTION

FOURTH INSERTION NOTICE OF ACTION IN THE CIRCUIT COURT OF THE TWENTIETH JUDICIAL CIRCUIT IN AND FOR LEE COUNTY, FLORIDA CASE NO.: 24-CA-001244 BOA PROPERTIES LLC, Plaintiff, v. RICH 868, LLC, A Florida Limited Liability Company, Defendants.

TO: RICH 8686, LLC, A Florida Limited Liability Company c/o Mark Mashiter, its Registered Agent 728 Pine Island Road, #4 Cape Coral, FL 33991

YOU ARE NOTIFIED that an action to quiet title on the following property in Lee County, Florida: THE FOLLOWING DESCRIBED LAND, SITUATE, LYING, AND BEING IN LEE COUNTY, FLORIDA, TO WIT: Lots 22 and 23, Block 2083, Unit 31, CAPE CORAL, according to the plat thereof as recorded in Plat Book 14, Pages 149 through 165, inclusive, of the Public Records of Lee County, Florida. has been filed against you and that you are required to serve a copy of your written defenses, if any, to it on The Law Office of C.W. Wickersham, Jr., P.A., Plaintiff’s attorney, at 2720 Park Street, Suite 205, Jacksonville, Florida, 32205, Phone Number: (904) 389-6202, on or before July 3, 2024, and file the original with the Clerk of this Court, at 2075 Dr Martin Luther King Jr Blvd, Fort Myers, FL 33901 before service on Plaintiff or immediately thereafter. If you fail to do so, a Default may be entered against you for the relief demanded in the Complaint.

DATED this 24th day of May, 2024. Kevin C. Karnes Clerk of the Circuit Court (SEAL) By: K. Harris As Deputy Clerk The Law Office of C.W. Wickersham, Jr., P.A., Plaintiff’s attorney, 2720 Park Street, Suite 205, Jacksonville, Florida, 32205, Phone Number: (904) 389-6202 May 31; June 7, 14, 21, 2024 24-02217L

44 SOUTH, RANGE 26 EAST, LEHIGH ACRES, ACCORDING TO THE MAP OR PLAT THEREOF ON FILE IN THE OFFICE OF THE CLERK OF THE CIRCUIT COURT, RECRODED IN PLAT BOOK 26, PAGE 34, OF THE PUBLIC RECORDS OF LEE COUNTY, FLORIDA. has been filed against you and you are required to serve a copy of your written defenses, if any, to it on Myles A. Hoover, the Plaintiff’s attorney, whose address is 11 Island Ave #406, Miami Beach, Florida 33139, on or before July 15, 2024, and file the original with the Clerk of this Court either before service on Plaintiff’s attorney or immediately thereafter; otherwise a default will be entered against you for the relief demanded in the Complaint or petition.

Dated on June 04, 2024. Kevin C. Karnes Lee County Clerk of Court As Clerk of the Court (SEAL) By K. Shoap As Deputy Clerk

Myles A. Hoover, the Plaintiff’s attorney, is 11 Island Ave #406, Miami Beach, Florida 33139 June 7, 14, 21, 28, 2024 24-02296L

NOTICE OF APPLICATION FOR TAX DEED Section 197.512 F.S. Tax Deed #:2023002275 NOTICE IS HEREBY GIVEN that TEN EAGLES LLC the holder of the following certificate(s) has filed said certificate(s) for a tax deed to be issued thereon. The certificate number(s), year(s) of issuance, the description of the property and the name(s) in which it was assessed are as follows: Certificate Number: 21-016222 Year of Issuance 2021 Description of Property MIRROR LAKES UNIT 18 BLK 64 PB 27 PG 105 LOT 16 Strap Number 18-45-27-18-00064.0160

Names in which assessed:

MICHELINA GUIDA, PATSY G GUIDA

All of said property being in the County of Lee, State of Florida. Unless such certificate(s) shall be redeemed according to the law the property described in such certificate(s) will be sold to the highest bidder online at www.lee.realtaxdeed.com on 07/23/2024 at 10:00 am, by Kevin C. Karnes, Lee County Clerk of the Circuit Court & Comptroller. May 31; June 7, 14, 21, 2024 24-02192L

--- ESTATE ---

SECOND INSERTION NOTICE TO CREDITORS IN THE CIRCUIT COURT FOR LEE COUNTY, FLORIDA Probate Division File No. 24-CP-001118 IN RE: ESTATE OF JEAN O’NEIL NOLAN, deceased. The administration of the intestate estate of JEAN O’NEIL NOLAN, deceased, who died on November 14, 2023, File Number 24-CP-001118, is pending in the Circuit Court for Lee County, Florida, Probate Division, the address of which is Lee County Justice Center, 1700 Monroe Street, 1st Floor, P.O. Box 9346, Fort Myers, Florida 33902. The name and address of the personal representative and the personal representative’s attorney are set forth below. ALL INTERESTED PERSONS ARE NOTIFIED THAT:

All creditors of the decedent and other persons having claims or demands against decedent’s estate on whom a copy of this Notice is served must file their claims with this Court WITHIN THE LATER OF THREE MONTHS AFTER THE DATE OF THE FIRST PUBLICATION OF THIS NOTICE OR THIRTY DAYS AFTER THE DATE OF SERVICE OF A COPY OF THIS NOTICE ON THEM.

All other creditors of the decedent and persons having claims or demands against the decedent’s estate must file their claims with this Court WITHIN THREE MONTHS AFTER THE DATE OF THE FIRST PUBLICATION OF THIS NOTICE.

ALL CLAIMS NOT SO FILED WILL BE FOREVER BARRED. NOTWITHSTANDING THE TIME PERIODS SET FORTH ABOVE, ANY CLAIM FILED TWO YEARS OR MORE AFTER THE DECEDENT’S DATE OF DEATH IS BARRED.

The date of the first publication of this Notice to Creditors is June 14, 2024. KRISTIN VARALY, Personal Representative of the estate of JEAN O’NEIL NOLAN 1266 Gasparilla Drive Fort Myers, FL 33901

Brian J. Downey, Esq. FL Bar Number: 0017975

BARRETT MCNAGNY, LLP 215 East Berry Street Fort Wayne, IN 46802 Phone: 260-423-8871 Email: bjd@barrettlaw.com June 14, 21, 2024 24-02421L

SECOND INSERTION NOTICE TO CREDITORS IN THE CIRCUIT COURT FOR LEE COUNTY, FLORIDA PROBATE DIVISION File No. 24-CP-1269 IN RE: ESTATE OF CHARLES A. MEADE, Deceased.

The administration of the Estate of Charles A. Meade, deceased, whose date of death was October 7, 2022, is pending in the Circuit Court for Lee County, Florida, Probate Division, the address of which is 1700 Monroe Street, Fort Myers, Florida 33901. The names and addresses of the personal representative and the personal representative’s attorney are set forth below.

All creditors of the decedent and other persons having claims or demands against decedent’s estate on whom a copy of this notice is required to be served must file their claims with this court ON OR BEFORE THE LATER OF 3 MONTHS AFTER THE TIME OF THE FIRST PUBLICATION OF THIS NOTICE OR 30 DAYS AFTER THE DATE OF SERVICE OF A COPY OF THIS NOTICE ON THEM.

All other creditors of the decedent and other persons having claims or demands against decedent’s estate must file their claims with this court WITHIN 3 MONTHS AFTER THE DATE OF THE FIRST PUBLICATION OF THIS NOTICE.

ALL CLAIMS NOT FILED WITHIN THE TIME PERIODS SET FORTH IN FLORIDA STATUTES SECTION 733.702 WILL BE FOREVER BARRED.

NOTWITHSTANDING THE TIME PERIODS SET FORTH ABOVE, ANY CLAIM FILED TWO (2) YEARS OR MORE AFTER THE DECEDENT’S DATE OF DEATH IS BARRED.

The date of first publication of this notice is June 14, 2024.

Personal Representative: Linda M. Meade 1323 Myrica Place Virginia Beach, Virginia 23454

Attorney for Personal Representative: LaDonna J. Cody, Attorney Florida Bar Number: 342661 GREEN SCHOENFELD & KYLE LLP 1380 Royal Palm Square Blvd. Fort Myers, FL 33919 Telephone: (239) 936-7200

Fax: (239) 936-7997

E-Mail: ladonnacody@gskattorneys.com gailstagner@gskattorneys.com 00967709.DOC/1 June 14, 21, 2024 24-002435L

SECOND INSERTION NOTICE TO CREDITORS IN THE CIRCUIT COURT FOR LEE COUNTY, FLORIDA PROBATE DIVISION File No. 24-CP-1780 Division Probate IN RE: ESTATE OF DAVID A. PARTON Deceased.

The administration of the estate of David A. Parton, deceased, whose date of death was January 12, 2023, is pending in the Circuit Court for Lee County, Florida, Probate Division, the address of which is 1700 Monroe St., Fort Myers Florida 33901. The names and addresses of the personal representative and the personal representative’s attorney are set forth below. All creditors of the Decedent and other persons having claims or demands against Decedent’s estate on whom a copy of this notice is required to be served must file their claims with this court ON OR BEFORE THE LATER OF 3 MONTHS AFTER THE TIME OF THE FIRST PUBLICATION OF THIS NOTICE OR 30 DAYS AFTER THE DATE OF SERVICE OF A COPY OF THIS NOTICE ON THEM. All other creditors of the Decedent and other persons having claims or demands against Decedent’s estate must file their claims with this court WITHIN 3 MONTHS AFTER THE DATE OF THE FIRST PUBLICATION OF THIS NOTICE. ALL CLAIMS NOT FILED WITHIN THE TIME PERIODS SET FORTH IN FLORIDA STATUTES SECTION 733.702 WILL BE FOREVER BARRED. NOTWITHSTANDING THE TIME PERIODS SET FORTH ABOVE, ANY CLAIM FILED TWO (2) YEARS OR MORE AFTER THE DECEDENT’S DATE OF DEATH IS BARRED. The date of first publication of this notice is June 14, 2024. Personal Representative: Craig L. Parton 2955 135th St. Riverside, Iowa 52327

Attorney for Personal Representative: David M. Platt, Attorney Florida Bar Number: 939196 David M. Platt, P.A. 8880 Gladiolus Dr., Ste. 201 Fort Myers, FL 33908 Telephone: (239) 472-5400

E-Mail: david.platt@sancaplaw.com June 14, 21, 2024 24-02379L

SECOND INSERTION NOTICE TO CREDITORS IN THE CIRCUIT COURT FOR LEE COUNTY, FLORIDA PROBATE DIVISION File No. 24-CP-1850 Division Probate IN RE: ESTATE OF JAMES TONY WHITE Deceased.

The administration of the estate of James Tony White, deceased, whose date of death was April 29, 2024, is pending in the Circuit Court for Lee County, Florida, Probate Division, the address of which is P.O. Box 9346, Fort Myers, FL 33902. The names and addresses of the personal representative and the personal representative’s attorney are set forth below. All creditors of the decedent and other persons having claims or demands against decedent’s estate on whom a copy of this notice is required to be served must file their claims with this court ON OR BEFORE THE LATER OF 3 MONTHS AFTER THE TIME OF THE FIRST PUBLICATION OF THIS NOTICE OR 30 DAYS AFTER THE DATE OF SERVICE OF A COPY OF THIS NOTICE ON THEM.

All other creditors of the decedent and other persons having claims or demands against decedent’s estate must file their claims with this court WITHIN 3 MONTHS AFTER THE DATE OF THE FIRST PUBLICATION OF THIS NOTICE.

ALL CLAIMS NOT FILED WITHIN THE TIME PERIODS SET FORTH IN FLORIDA STATUTES SECTION 733.702 WILL BE FOREVER BARRED.

NOTWITHSTANDING THE TIME PERIODS SET FORTH ABOVE, ANY CLAIM FILED TWO (2) YEARS OR MORE AFTER THE DECEDENT’S DATE OF DEATH IS BARRED.

The date of first publication of this Notice is June 14, 2024.

Personal Representative: Traci L. Fitzpatrick 126 Corvette Dr. Williamsburg, VA 23185

Attorney for Personal Representative: Douglas A. Dodson, II, Attorney Florida Bar Number: 126439

DORCEY LAW FIRM PLC 10181 Six Mile Cypress Parkway, Ste C Fort Myers, FL 33966

Telephone: (239) 418-0169

Fax: (239) 418-0048

E-Mail: douglas@dorceylaw.com

Secondary E-Mail: probate@dorceylaw.com June 14, 21, 2024 24-02429L

SECOND INSERTION NOTICE TO CREDITORS IN THE CIRCUIT COURT FOR LEE COUNTY, FLORIDA PROBATE DIVISION File No.: 24-CP-001797

Division: Probate IN RE: ESTATE OF BETTY H. FUHRMAN, Deceased.

The administration of the Estate of Betty H. Fuhrman, deceased, whose date of death was March 22, 2024, is pending in the Circuit Court for Lee County, Florida, Probate Division, the address of which is P.O. Box 9346, Fort Myers, FL 33902-9346. The names and addresses of the Personal Representative and the Personal Representative’s attorney are set forth below. All creditors of the Decedent and other persons having claims or demands against the Decedent’s Estate on whom a copy of this Notice is required to be served must file their claims with this Court WITHIN THE LATER OF 3 MONTHS AFTER THE TIME OF THE FIRST PUBLICATION OF THIS NOTICE OR 30 DAYS AFTER THE DATE OF SERVICE OF A COPY OF THIS NOTICE ON THEM. All other creditors of the Decedent and other persons having claims or demands against the Decedent’s Estate must file their claims with this Court WITHIN 3 MONTHS AFTER THE DATE OF THE FIRST PUBLICATION OF THIS NOTICE. ALL CLAIMS NOT FILED WITHIN THE TIME PERIODS SET FORTH IN SECTION 733.702 OF THE FLORIDA PROBATE CODE WILL BE FOREVER BARRED. NOTWITHSTANDING THE TIME PERIODS SET FORTH ABOVE, ANY CLAIM FILED TWO (2) YEARS OR MORE AFTER THE DECEDENT’S DATE OF DEATH IS BARRED. The date of first publication of this Notice is June 14, 2024.

28 JUNE 21 - JUNE 27, 2024 BUSINESS OBSERVER
COUNTY
LEE
---
--- ACTIONS
Personal Representative: Diana Taylor 88 Indian Springs Dr. Forsyth, GA 31029 Attorney for Personal Representative: Kevin A. Kyle Attorney for Personal Representative Florida Bar Number: 980595 GREEN SCHOENFELD & KYLE LLP 1380 Royal Palm Square Boulevard Fort Myers, Florida 33919 Telephone: (239) 936-7200 Fax: (239) 936-7997 E-Mail: kevinkyle@gskattorneys.com 00975429.DOCX/I June 14, 21, 2024 24-02428L
--- PUBLIC SALES ---

SECOND INSERTION

NOTICE TO CREDITORS IN THE CIRCUIT COURT FOR LEE COUNTY, FLORIDA

PROBATE DIVISION

File No. 24-CP-1594

Division P(4) IN RE: ESTATE OF MARGARET M. FLAUGHER

Deceased. The administration of the estate of Margaret M. Flaugher, deceased, whose date of death was January 27, 2024, is pending in the Circuit Court for Lee County, Florida, Probate Division, the address of which is P.O. Box 9346, Fort Myers, FL 33902. The names and addresses of the personal representative and the personal representative’s attorney are set forth below. All creditors of the decedent and other persons having claims or demands against decedent’s estate on whom a copy of this notice is required to be served must file their claims with this court ON OR BEFORE THE LATER OF 3 MONTHS AFTER THE TIME OF THE FIRST PUBLICATION OF THIS NOTICE OR 30 DAYS AFTER THE DATE OF SERVICE OF A COPY OF THIS NOTICE ON THEM. All other creditors of the decedent and other persons having claims or demands against decedent’s estate must file their claims with this court WITHIN 3 MONTHS AFTER THE DATE OF THE FIRST PUBLICATION OF THIS NOTICE.

ALL CLAIMS NOT FILED WITHIN THE TIME PERIODS SET FORTH IN FLORIDA STATUTES SECTION 733.702 WILL BE FOREVER BARRED.

NOTWITHSTANDING THE TIME PERIODS SET FORTH ABOVE, ANY CLAIM FILED TWO (2) YEARS OR MORE AFTER THE DECEDENT’S DATE OF DEATH IS BARRED.

The date of first publication of this notice is June 14, 2024.

Personal Representative: Melissa Rose Flaugher

8789 Banyan Cove Circle Fort Myers, Florida 33919

Attorney for Personal Representative: Rodolfo Suarez Jr. Esq., Attorney Florida Bar Number: 013201 9100 South Dadeland Blvd, Suite 1620 Miami, Florida 33156

Telephone: 305-448-4244

E-Mail: rudy@suarezlawyers.com

Secondary E-Mail: eca@suarezlawyers.com

June 14, 21, 2024 24-02411L

SECOND INSERTION

NOTICE TO CREDITORS IN THE CIRCUIT COURT FOR LEE COUNTY, FLORIDA

PROBATE DIVISION

File No. 24-CP-1547 Division Probate IN RE: ESTATE OF BERNICE GORMAN MOORE Deceased. The administration of the estate of BERNICE GORMAN MOORE, deceased, whose date of death was February 4, 2024, is pending in the Circuit Court for Lee County, Florida, Probate Division, the address of which is 1700 Monroe St., Fort Myers, Florida 33901. The names and addresses of the personal representative and the personal representative’s attorney are set forth below. All creditors of the decedent and other persons having claims or demands against decedent’s estate on whom a copy of this notice is required to be served must file their claims with this court ON OR BEFORE THE LATER OF 3 MONTHS AFTER THE TIME OF THE FIRST PUBLICATION OF THIS NOTICE OR 30 DAYS AFTER THE DATE OF SERVICE OF A COPY OF THIS NOTICE ON THEM. All other creditors of the decedent and other persons having claims or demands against decedent’s estate must file their claims with this court WITHIN 3 MONTHS AFTER THE DATE OF THE FIRST PUBLICATION OF THIS NOTICE. ALL CLAIMS NOT FILED WITHIN THE TIME PERIODS SET FORTH IN FLORIDA STATUTES SECTION 733.702 WILL BE FOREVER BARRED.

NOTWITHSTANDING THE TIME PERIODS SET FORTH ABOVE, ANY CLAIM FILED TWO (2) YEARS OR MORE AFTER THE DECEDENT’S DATE OF DEATH IS BARRED.

The date of first publication of this notice is June 14, 2024.

Personal Representative:

/s/ Weldon Glenn Joslin, Jr.

WELDON GLENN JOSLIN, JR. 1671 Manor Ave.

Fort Myers, Florida 33901

Attorney for Personal Representative:

/s/ Shaun M. Garry

SHAUN M. GARRY, Attorney

Florida Bar Number: 93412

GrayRobinson, P.A.

999 Vanderbilt Beach Rd., Suite 612

Naples, Florida 34108

Telephone: (239) 598-3601

Fax: (239) 598-3164

E-Mail:

shaun.garry@gray-robinson.com

Secondary E-Mail: lyndsey.black@gray-robinson.com

#60260839 v1

June 14, 21, 2024 24-02408L

SECOND INSERTION

NOTICE TO CREDITORS IN THE CIRCUIT COURT FOR LEE COUNTY, FLORIDA PROBATE DIVISION File No. 24-CP-001334 IN RE: ESTATE OF MARGARITA MAHER Deceased. The administration of the estate of Margarita Maher, deceased, whose date of death was January 14, 2024, is pending in the Circuit Court for Lee County, Florida, Probate Division, the address of which is 1700 Monroe St. Fort Myers, FL 33901. The names and addresses of the personal representative and the personal representative’s attorney are set forth below.

All creditors of the decedent and other persons having claims or demands against decedent’s estate on whom a copy of this notice is required to be served must file their claims with this court ON OR BEFORE THE LATER OF 3 MONTHS AFTER THE TIME OF THE FIRST PUBLICATION OF THIS NOTICE OR 30 DAYS AFTER THE DATE OF SERVICE OF A COPY OF THIS NOTICE ON THEM. All other creditors of the decedent and other persons having claims or demands against decedent’s estate must file their claims with this court WITHIN 3 MONTHS AFTER THE DATE OF THE FIRST PUBLICATION OF THIS NOTICE.

ALL CLAIMS NOT FILED WITHIN THE TIME PERIODS SET FORTH IN FLORIDA STATUTES SECTION 733.702 WILL BE FOREVER BARRED.

NOTWITHSTANDING THE TIME PERIODS SET FORTH ABOVE, ANY CLAIM FILED TWO (2) YEARS OR MORE AFTER THE DECEDENT’S DATE OF DEATH IS BARRED.

The date of first publication of this notice is June 14, 2024.

Personal Representative: Lucy Hernandez 4764 SW 128 Place Miami, Florida 33175

Attorney for Personal Representative: /s/ Lance M. McKinney

Lance M. McKinney, Attorney Florida Bar Number: 882992

Osterhout & McKinney, P.A. 3783 Seago Lane Fort Myers, FL 33901

Telephone: (239) 939-4888

Fax: (239) 277-0601

E-Mail: lancem@omplaw.com

Secondary E-Mail: hillaryh@omplaw.com June 14, 21, 2024 24-02377L

SECOND INSERTION

NOTICE TO CREDITORS IN THE CIRCUIT COURT OF THE TWENTIETH JUDICIAL CIRCUIT IN AND FOR LEE COUNTY, FLORIDA File No. 2024-CP-001617 Division Probate IN RE: ESTATE OF CATHERINE HAWLEY GARDINER, Deceased. The administration of the estate of CATHERINE HAWLEY GARDINER, deceased, whose date of death was December 31, 2023, is pending in the Circuit Court for Lee County, Florida, Probate Division, the address of which is Lee County Probate Court, 1700 Monroe Street, Fort Myers, FL 33901. The names and addresses of the personal representative and the personal representative’s attorney are set forth below. All creditors of the decedent and other persons having claims or demands against decedent’s estate on whom a copy of this notice is required to be served must file their claims with this court ON OR BEFORE THE LATER OF 3 MONTHS AFTER THE TIME OF THE FIRST PUBLICATION OF THIS NOTICE OR 30 DAYS AFTER THE DATE OF SERVICE OF A COPY OF THIS NOTICE ON THEM. All other creditors of the decedent and other persons having claims or demands against decedent’s estate must file their claims with this court WITHIN 3 MONTHS AFTER THE DATE OF THE FIRST PUBLICATION OF THIS NOTICE.

ALL CLAIMS NOT FILED WITHIN THE TIME PERIODS SET FORTH IN FLORIDA STATUTES SECTION 733.702 WILL BE FOREVER BARRED. NOTWITHSTANDING THE TIME PERIOD SET FORTH ABOVE, ANY CLAIM FILED TWO (2) YEARS OR MORE AFTER THE DECEDENT’S DATE OF DEATH IS BARRED. The date of first publication of this notice is June 14, 2024.

Personal Representative: /s/ Barbara Lee Smith

BARBARA LEE SMITH 7206 Clearhaven Drive Dallas, TX 75248

Attorney for Personal Representative: /s/ Gregory J. Nussbickel Gregory J Nussbickel Florida Bar No. 0580643 The Nussbickel Law Firm P.A. 12487 Brantley Commons Court Fort Myers, FL 33907 Telephone: 2399009455 greg@will.estate christine@will.estate June 14, 21, 2024 24-02407L

LEE COUNTY

SECOND INSERTION

NOTICE TO CREDITORS IN THE CIRCUIT COURT FOR LEE COUNTY, FLORIDA PROBATE DIVISION

File No.: 24-CP-001712

Division: Probate IN RE: ESTATE OF STEVEN D. SOUTHERN, Deceased.

The administration of the Estate of Steven D. Southern, deceased, whose date of death was April 12, 2024, is pending in the Circuit Court for Lee County, Florida, Probate Division, the address of which is P.O. Box 9346, Fort Myers, FL 33902-9346. The names and addresses of the Personal Representative and the Personal Representative’s attorney are set forth below.

All creditors of the Decedent and other persons having claims or demands against the Decedent’s Estate on whom a copy of this Notice is required to be served must file their claims with this Court WITHIN THE LATER OF 3 MONTHS AFTER THE TIME OF THE FIRST PUBLICATION OF THIS NOTICE OR 30 DAYS AFTER THE DATE OF SERVICE OF A COPY OF THIS NOTICE ON THEM.

All other creditors of the Decedent and other persons having claims or demands against the Decedent’s Estate must file their claims with this Court WITHIN 3 MONTHS AFTER THE DATE OF THE FIRST PUBLICATION OF THIS NOTICE.

ALL CLAIMS NOT FILED WITHIN THE TIME PERIODS SET FORTH IN SECTION 733.702 OF THE FLORIDA PROBATE CODE WILL BE FOREVER BARRED.

NOTWITHSTANDING THE TIME PERIODS SET FORTH

ABOVE, ANY CLAIM FILED TWO (2) YEARS OR MORE AFTER THE DECEDENT’S DATE OF DEATH IS BARRED.

The date of first publication of this Notice is June 14, 2024. Personal Representative: Sonja M. Southern 20238 Millrun Drive Estero, FL 33928

Attorney for Personal Representative: Aglaë S. Van den Bergh

Attorney for Personal Representative Florida Bar Number: 1031166

GREEN SCHOENFELD & KYLE LLP

1380 Royal Palm Square Boulevard Fort Myers, Florida 33919

Telephone: (239) 936-7200

Fax: (239) 936-7997

E-Mail:

aglaevandenbergh@gskattorneys.com

00975701.DOCX/1 June 14, 21, 2024 24-02378L

SECOND INSERTION NOTICE TO CREDITORS IN THE CIRCUIT COURT FOR LEE COUNTY, FLORIDA PROBATE DIVISION File No. 24-CP-1816 Division Probate IN RE: ESTATE OF LARRY VANCE CHAMBERLAIN Deceased.

The administration of the estate of Larry Vance Chamberlain, deceased, whose date of death was April 26, 2024, is pending in the Circuit Court for Lee County, Florida, Probate Division, the address of which is P.O. Box 9346, Fort Myers, FL 33902. The names and addresses of the personal representative and the personal representative’s attorney are set forth below.

All creditors of the decedent and other persons having claims or demands against decedent’s estate on whom a copy of this notice is required to be served must file their claims with this court ON OR BEFORE THE LATER OF 3 MONTHS AFTER THE TIME OF THE FIRST PUBLICATION OF THIS NOTICEOR 30 DAYS AFTER THE DATE OF SERVICE OF A COPY OF THIS NOTICE ON THEM.

All other creditors of the decedent and other persons having claims or demands against decedent’s estate must file their claims with this court WITHIN 3 MONTHS AFTER THE DATE OF THE FIRST PUBLICATION OF THIS NOTICE.

ALL CLAIMS NOT FILED WITHIN THE TIME PERIODS SET FORTH IN FLORIDA STATUTES SECTION 733.702 WILL BE FOREVER BARRED.

NOTWITHSTANDING THE TIME PERIODS SET FORTH ABOVE, ANY CLAIM FILED TWO (2) YEARS OR MORE AFTER THE DECEDENT’S DATE OF DEATH IS BARRED.

The date of first publication of this notice is June 14, 2024.

Personal Representative: Mary L. Chamberlain 7787 Cameron Circle Fort Myers, Florida 33912

Attorney for Personal Representative: Douglas A. Dodson, II Florida Bar Number: 126439

DORCEY LAW FIRM PLC 10181 Six Mile Cypress Parkway, Ste C Fort Myers, FL 33966

Telephone: (239) 418-0169

Fax: (239) 418-0048

E-Mail: douglas@dorceylaw.com

Secondary E-Mail: probate@dorceylaw.com June 14, 21, 2024 24-02396L

SECOND INSERTION NOTICE TO CREDITORS IN THE CIRCUIT COURT OF THE TWENTIETH JUDICIAL CIRCUIT IN AND FOR LEE COUNTY, FLORIDA PROBATE DIVISION File No. 24-CP-001800 IN RE: ESTATE OF JEAN M. NOLTE, Deceased.

The administration of the estate of JEAN M. NOLTE, deceased, whose date of death was December 28, 2023, is pending in the Circuit Court for Lee County, Florida, Probate Division, the address of which is 2075 Dr. Martin Luther King Blvd., Fort Myers, Florida 33901. The names and addresses of the personal representative and the personal representative’s attorney are set forth below.

All creditors of the decedent and other persons having claims or demands against decedent’s estate, on whom a copy of this notice is required to be served, must file their claims with this court ON OR BEFORE THE LATER OF 3 MONTHS AFTER THE TIME OF THE FIRST PUBLICATION OF THIS NOTICE OR 30 DAYS AFTER THE DATE OF SERVICE OF A COPY OF THIS NOTICE ON THEM.

All other creditors of the decedent and other persons having claims or demands against decedent’s estate must file their claims with this court WITHIN 3 MONTHS AFTER THE DATE OF THE FIRST PUBLICATION OF THIS NOTICE.

ALL CLAIMS NOT FILED WITHIN THE TIME PERIODS SET FORTH IN FLORIDA STATUTES SECTION 733.702 WILL BE FOREVER BARRED.

NOTWITHSTANDING THE TIME PERIOD SET FORTH ABOVE, ANY CLAIM FILED TWO (2) YEARS OR MORE AFTER THE DECEDENT’S DATE OF DEATH IS BARRED.

The date of first publication of this notice is: June 14, 2024 Signed on this 10th day of June, 2024.

STEPHEN P. NOLTE

Personal Representative 25 Old Coach Road Canton, Massachusetts 02021

Geena G. Kandel

Attorney for Personal Representative Florida Bar No. 1019226

Roetzel & Andress LPA 999 Vanderbilt Beach Road, Suite 401 Naples, Florida 34108 Telephone: (239) 649-6200

Email: gkandel@ralaw.com

Secondary Email: serve.gkandel@ralaw.com June 14, 21, 2024 24-02415L

SECOND INSERTION NOTICE TO CREDITORS IN THE CIRCUIT COURT FOR LEE COUNTY, FLORIDA PROBATE DIVISION File No. 24-CP-911 IN RE: ESTATE OF THOMAS J. ZUCHOWSKI, Deceased.

The administration of the estate of Thomas J. Zuchowski, deceased, whose date of death was December 28, 2023, is pending in the Circuit Court for Lee County, Florida, Probate Division, the address of which is 1700 Monroe St, Fort Myers, FL 33901. The names and addresses of the personal representative and the personal representative’s attorney are set forth below.

All creditors of the decedent and other persons having claims or demands against decedent’s estate on whom a copy of this notice is required to be served must file their claims with this court ON OR BEFORE THE LATER OF 3 MONTHS AFTER THE TIME OF THE FIRST PUBLICATION OF THIS NOTICE OR 30 DAYS AFTER THE DATE OF SERVICE OF A COPY OF THIS NOTICE ON THEM.

All other creditors of the decedent and other persons having claims or demands against decedent’s estate must file their claims with this court WITHIN 3 MONTHS AFTER THE DATE OF THE FIRST PUBLICATION OF THIS NOTICE.

ALL CLAIMS NOT FILED WITHIN THE TIME PERIODS SET FORTH IN FLORIDA STATUTES SECTION 733.702 WILL BE FOREVER BARRED.

NOTWITHSTANDING THE TIME PERIOD SET FORTH ABOVE, ANY CLAIM FILED TWO (2) YEARS OR MORE AFTER THE DECEDENT’S DATE OF DEATH IS BARRED.

The date of first publication of this notice is June 14, 2024.

Personal Representative: William Henry Zuchowski 622 Riegelsville Road Milford, NJ 08848

Attorney for Personal Representative: Marve Ann M. Alaimo, Esq.

Florida Bar No. 117749

Javier A. Pacheco, Esq. Florida Bar No. 51368

malaimo@porterwright.com

jpacheco@porterwright.com

flprobate@porterwright.com

Porter Wright Morris & Arthur LLP 9132 Strada Place, Suite 301 Naples, FL 34108 Telephone: 239-593-2900 June 14, 21, 2024 24-02380L

SECOND INSERTION NOTICE TO CREDITORS (Summary Administration) IN THE CIRCUIT COURT FOR LEE COUNTY, FLORIDA PROBATE DIVISION File No. 24-CP-001287 IN RE: ESTATE OF SUSAN HAMMOND SHIPLEY Deceased. TO ALL PERSONS HAVING CLAIMS OR DEMANDS AGAINST THE ABOVE ESTATE: You are hereby notified that an Order of Summary Administration has been entered in the estate of Susan Hammond Shipley, deceased, File Number 24-CP-001287, by the Circuit Court for Lee County, Florida, Probate Division, the address of which is 1700 Monroe St, Fort Myers, FL 33901; that the decedent’s date of death was February 27, 2024; that the total value of the estate is $48,416.32 and that the names and addresses of those to whom it has been assigned by such order are: Name Address Alison Lewellyn Shipley 585 South Main St. S. Windsor, CT 06028 Laura Hammond Shipley 12838 Devonshire Lakes Circle Fort Myers, FL 33913

ALL INTERESTED PERSONS ARE NOTIFIED THAT: All creditors of the estate of the decedent and persons having claims or demands against the estate of the decedent other than those for whom provision for full payment was made in the Order of Summary Administration must file their claims with this court WITHIN THE TIME PERIODS SET FORTH IN FLORIDA STATUTES SECTION 733.702. ALL CLAIMS AND DEMANDS NOT SO FILED WILL BE FOREVER BARRED. NOTWITHSTANDING ANY OTHER APPLICABLE TIME PERIOD, ANY CLAIM FILED TWO (2) YEARS OR MORE AFTER THE DECEDENT’S DATE OF DEATH IS BARRED.

The date of first publication of this Notice is June 14, 2024.

Person Giving Notice: Norman Louis Shipley 286 South Main Street Andover, Massachusetts 01810

Attorney for Person Giving Notice /s/ Wess M. Jacobs

Wess M. Jacobs, Attorney Florida Bar Number: 932655

Osterhout & McKinney, P.A. 3783 Seago Lane Fort Myers, FL 33901

Telephone: (239) 939-4888

Fax: (239) 277-0601

E-Mail: wessj@omplaw.com

Secondary E-Mail: hillaryh@omplaw.com

June 14, 21, 2024 24-02410L

SECOND INSERTION NOTICE TO CREDITORS IN THE CIRCUIT COURT, IN AND FOR LEE COUNTY, FLORIDA, PROBATE DIVISION CASE NO.: 24-CP-001610

DIVISION: P(6) IN RE: ESTATE OF GLENN DANIEL CLAPP A/K/A GLENN CLAPP, Deceased. The administration of GLENN DANIEL CLAPP A/K/A GLENN CLAPP, (“Decedent”) deceased, whose date of death was January 29, 2023, and whose Social Security Number is XXXXX-7968, is pending in the Circuit Court for Lee County, Florida, Probate Division, the address of which is Justice Center, 2nd Floor 2075 Dr. Martin Luther King Jr. Boulevard Fort Myers, FL 33901. The names and addresses of the Petitioner and the Petitioner’s attorney are set forth below. All creditors of the Decedent and other persons having claims or demands against Decedent’s Estate on whom a copy of this notice is required to be served must file their claims with this court WITHIN THE LATER OF 3 MONTHS AFTER THE TIME OF THE FIRST PUBLICATION OF THIS NOTICE OR 30 DAYS AFTER THE DATE OF SERVICE OF A COPY OF THIS NOTICE ON THEM.

All other creditors of the Decedent and other persons having claims or demands against Decedent’s Estate must file their claims with this court WITHIN 3 MONTHS AFTER THE DATE OF THE FIRST PUBLICATION OF THIS NOTICE. ALL CLAIMS NOT SO FILED WILL BE FOREVER BARRED. NOTWITHSTANDING THE TIME PERIOD SET FORTH ABOVE, ANY CLAIM FILED TWO (2) YEARS OR MORE AFTER THE DECEDENT’S DATE OF DEATH IS BARRED.

The date of first publication of this notice is June 14, 2024. KARA CLAPP A/K/A KARA ELAYNE DIERSING-CLAPP A/K/A KARA ELAYNE DIERSING, Petitioner 7961 South Meyer Vista Cove, Cottonwood Heights, Utah 84093

LAW OFFICES OF AL NICOLETTI /s/ Alfred V. Nicoletti

ALFRED V. NICOLETTI, ESQ.

Florida Bar No.: 125446

7512 Dr. Phillips Blvd.

Suite 50-647 Orlando, Florida 32819 June 14, 21, 2024 24-02412L

SECOND INSERTION NOTICE TO CREDITORS (Summary Administration) IN THE CIRCUIT COURT FOR LEE COUNTY, FLORIDA

PROBATE DIVISION File No. 23-CP-002974

Division Probate IN RE: ESTATE OF JOSEPH R. METZ Deceased. TO ALL PERSONS HAVING CLAIMS OR DEMANDS AGAINST THE ABOVE

Luther King Jr. Boulevard, Fort Myers, Florida 33901; that the decedent’s date of death was May 15, 2023; that the total value of the non-exempt estate is $33,276.63 and that the names and addresses of those to whom it has been assigned by such order are:

Name Address Sandra K. Metz, as Trustee of the Joseph R. Metz Revocable trust dated September 6, 2006 3403 Via Montana Way Fort Myers, FL 33917 ALL INTERESTED PERSONS ARE NOTIFIED THAT: All creditors of the estate of the decedent and persons having claims or demands against the estate of the decedent other than those for whom provision for full payment was made in the Order of Summary Administration must file their claims with this court WITHIN THE TIME PERIODS SET FORTH IN FLORIDA STATUTES SECTION 733.702. ALL CLAIMS AND DEMANDS NOT SO FILED WILL BE FOREVER BARRED. NOTWITHSTANDING ANY OTHER APPLICABLE TIME PERIOD, ANY CLAIM FILED TWO (2) YEARS OR MORE AFTER THE DECEDENT’S DATE OF DEATH IS BARRED. The date of first publication of this Notice is June 14, 2024. Person Giving Notice: Sandra K. Metz, as Trustee 3403 Via Montana Way Fort Myers, FL 33917 Attorney for Person Giving Notice Tasha A. Warnock, Esq. Florida Bar Number: 116474 The Warnock Law Group LLC 6843 Porto Fino Circle Fort Myers, Florida 33912 Telephone: (239) 437-1197 Fax: (239) 437-1196 E-Mail: service@warnocklawgroup.com

Secondary E-Mail: twarnock@warnocklawgroup.com June 14, 21, 2024 24-02391L

SECOND INSERTION NOTICE TO CREDITORS IN THE CIRCUIT COURT FOR LEE COUNTY, FLORIDA PROBATE DIVISION File No. 24-CP-1724 Division Probate IN RE: ESTATE OF THOMAS B. KLAMET Deceased.

The administration of the estate of Thomas B. Klamet, deceased, whose date of death was April 21, 2024, is pending in the Circuit Court for Lee County, Florida, Probate Division, the address of which is 1700 Monroe St, Fort Myers, FL 33901. The names and addresses of the personal representative and the personal representative’s attorney are set forth below. All creditors of the decedent and other persons having claims or demands against decedent’s estate on whom a copy of this notice is required to be served must file their claims with this court ON OR BEFORE THE LATER OF 3 MONTHS AFTER THE TIME OF THE FIRST PUBLICATION OF THIS NOTICE OR 30 DAYS AFTER THE DATE OF SERVICE OF A COPY OF THIS NOTICE ON THEM. All other creditors of the decedent and other persons having claims or demands against decedent’s estate must file their claims with this court WITHIN 3 MONTHS AFTER THE DATE OF THE FIRST PUBLICATION OF THIS NOTICE. ALL CLAIMS NOT FILED WITHIN THE TIME PERIODS SET FORTH IN FLORIDA STATUTES SECTION 733.702 WILL BE FOREVER BARRED.

NOTWITHSTANDING THE TIME PERIODS SET FORTH ABOVE, ANY CLAIM FILED TWO (2) YEARS OR MORE AFTER THE DECEDENT’S DATE OF DEATH IS BARRED. The date of first publication of this notice is June 14, 2024.

Personal Representative: Constance Dease-Klamet 20364 Foxworth Circle Estero, Florida 33928

Attorney for Personal Representative: Abagail M. Lyons, Attorney Florida Bar Number: 1040206 27911 Crown Lake Boulevard Ste 201 Bonita Springs, FL 34135 Telephone: (239) 948-1823

Fax: (239) 948-1826

E-Mail: abby.lyons@lyons-law.com Secondary E-Mail: amason@lyons-law.com June 14, 21, 2024 24-02420L

29 JUNE 21 - JUNE 27, 2024 BusinessObserverFL.com
--- ESTATE ---
been
estate
R. Metz
Lee
Florida,
address
which
Martin
ESTATE: You are hereby notified that an Order of Summary Administration has
entered in the
of Joseph
deceased, File Number 23-CP-002974, by the Circuit Court for
County,
Probate Division, the
of
is 2075 Dr.

NOTICE OF ACTION IN THE CIRCUIT COURT OF THE TWENTIETH JUDICIAL CIRCUIT

IN AND FOR LEE COUNTY, FLORIDA

CIVIL ACTION CASE NO.: 24-CA-003375

WELLS FARGO BANK, N.A., Plaintiff, vs. THE UNKNOWN HEIRS, DEVISEES, GRANTEES, ASSIGNEES, LIENORS, CREDITORS, TRUSTEES, OR OTHER CLAIMANTS

CLAIMING BY, THROUGH, UNDER, OR AGAINST, ROCCO BRISCESE AKA ROCCO J. BRISCESE AKA ROCCO JOSEPH BRISCESE, DECEASED, et al, Defendant(s).

To: THE UNKNOWN HEIRS, DEVISEES, GRANTEES, ASSIGNEES, LIENORS, CREDITORS, TRUSTEES, OR OTHER CLAIMANTS CLAIMING BY, THROUGH, UNDER, OR AGAINST, ROCCO BRISCESE AKA

ROCCO J. BRISCESE AKA ROCCO

JOSEPH BRISCESE, DECEASED Last Known Address: Unknown Current Address: Unknown

YOU ARE NOTIFIED that an action to foreclose a mortgage on the following property in Lee County, Florida: LOT 5, BLOCK 8A, WILLOW LAKE, SECTION 33, TOWNSHIP 44 SOUTH, RANGE 27 EAST, LEHIGH ACRES, ACCORDING TO THE PLAT THEREOF, AS RECORDED IN PLAT BOOK 15, PAGE 49, IN THE PUBLIC RECORDS OF LEE COUNTY, FLORIDA.

A/K/A 20 GREENWOOD AVE

NOTICE OF FORECLOSURE SALE

PURSUANT TO CHAPTER 45 IN THE CIRCUIT COURT OF THE TWENTIETH JUDICIAL CIRCUIT IN AND FOR LEE COUNTY, FLORIDA 23-CA-010545

MUTUAL OF OMAHA MORTGAGE, INC., Plaintiff, VS. WILLIAM H. STULTZ JR. A/K/A WILLIAM H. STULTZ; DIANE H. STULTZ; MV REALTY PBC, LLC; ANY AND ALL UNKNOWN PARTIES CLAIMING BY, THROUGH, UNDER AND AGAINST THE HEREIN NAMED INDIVIDUAL DEFENDANT(S) WHO ARE NOT KNOWN TO BE DEAD OR ALIVE, WHETHER SAID UNKNOWN PARTIES MAY CLAIM AN INTEREST AS SPOUSES, HEIRS, DEVISEES, GRANTEES, OR OTHER CLAIMANTS

Defendant(s). NOTICE IS HEREBY GIVEN that sale will be made pursuant to an Order or Final Judgment. Final Judgment was awarded on April 8, 2024 in Civil Case No. 23-CA-010545, of the Circuit Court of the TWENTIETH Judicial Circuit in and for Lee County, Florida, wherein, MUTUAL OF OMAHA MORTGAGE, INC. is the Plaintiff, and WILLIAM H. STULTZ JR. A/K/A WILLIAM H. STULTZ; DIANE H. STULTZ; MV REALTY PBC, LLC; ANY AND ALL UNKNOWN PARTIES CLAIMING BY, THROUGH, UNDER AND AGAINST THE HEREIN NAMED INDIVIDUAL DEFENDANT(S) WHO ARE NOT

NOTICE OF FORECLOSURE SALE

PURSUANT TO CHAPTER 45 IN THE CIRCUIT COURT OF THE TWENTIETH JUDICIAL CIRCUIT IN AND FOR LEE COUNTY, FLORIDA 18-CA-004315 FEDERAL NATIONAL MORTGAGE ASSOCIATION, Plaintiff, VS. GERRI CANNARELLA; MUKTIBANK 2010-1 SFR VENTURE, LLC; NOTE COUNTRY, LLC; ANY AND ALL UNKNOWN PARTIES CLAIMING BY, THROUGH, UNDER AND AGAINST THE HEREIN NAMED INDIVIDUAL DEFENDANT(S) WHO ARE NOT KNOWN TO BE DEAD OR ALIVE, WHETHER SAID UNKNOWN PARTIES MAY CLAIM AN INTEREST AS SPOUSES, HEIRS, DEVISEES, GRANTEES, OR OTHER CLAIMANTS Defendant(s). NOTICE IS HEREBY GIVEN that sale will be made pursuant to an Order or Final Judgment. Final Judgment was awarded on March 19, 2024 in Civil Case No. 18-CA-004315, of the Circuit Court of the TWENTIETH Judicial Circuit in and for Lee County, Florida, wherein, FEDERAL NATIONAL MORTGAGE ASSOCIATION is the Plaintiff, and GERRI CANNARELLA; MUKTIBANK 2010-1 SFR VENTURE, LLC; NOTE COUNTRY, LLC; ANY AND ALL UNKNOWN PARTIES CLAIMING BY, THROUGH, UNDER AND AGAINST THE HEREIN NAMED INDIVIDUAL DEFENDANT(S) WHO ARE NOT

LEHIGH ACRES FL 33936

has been filed against you and you are required to file written defenses with the clerk of court and to serve a copy within 30 days after the first publication of the Notice of Action, on Albertelli Law, Plaintiff’s attorney, whose address is P.O. Box 23028, Tampa, FL 33623; otherwise, a default will be entered against you for the relief demanded in the Complaint or petition. This notice shall be published once a week for two consecutive weeks in the Business Observer.

If you are a person with a disability who needs any accommodation in order to participate in this proceeding, you are entitled, at no cost to you, to the provision of certain assistance.

Please contact Brooke Dean, Operations Division Manager, whose office is located at Lee County Justice Center, 1700 Monroe Street, Fort Myers, Florida 33901, and whose telephone number is (239) 533-1771, at least 7 days before your scheduled court appearance, or immediately upon receiving this notification if the time before the scheduled appearance is less than 7 days; if you are hearing or voice impaired, call 711.

WITNESS my hand and the seal of this court on this 10th day of June, 2024. Kevin C. Karnes

Clerk of the Circuit Court (SEAL) By: K. Harris Deputy Clerk Albertelli Law P.O. Box 23028 Tampa, FL 33623 AR- 24-007317 June 14, 21, 2024 24-02394L

KNOWN TO BE DEAD OR ALIVE, WHETHER SAID UNKNOWN PARTIES MAY CLAIM AN INTEREST AS SPOUSES, HEIRS, DEVISEES, GRANTEES, OR OTHER CLAIMANTS are Defendants. The Clerk of the Court, Kevin C. Karnes will sell to the highest bidder for cash at www.lee.realforeclose.com on August 2, 2024 at 09:00:00 AM EST the following described real property as set forth in said Final Judgment, to wit: LOTS 38, 39 & 40, BLOCK 679, UNIT 21, CAPE CORAL SUBDIVISION, ACCORDING TO THE PLAT THEREOF AS RECORDED IN PLAT BOOK 13, PAGES 149 TO 173 INCLUSIVE, IN THE PUBLIC RECORDS OF LEE COUNTY, FLORIDA.

Any person claiming an interest in the surplus from the sale, if any, other than the property owner as of the date of the lis pendens must file a claim before the clerk reports the surplus as unclaimed. WITNESS my hand and the seal of the court on 06/11/2024. CLERK OF THE COURT Kevin C. Karnes (SEAL) N. Watson Deputy Clerk

ALDRIDGE PITE, LLP Attorney for Plaintiff 5300 West Atlantic Avenue Suite 303 Delray Beach, FL 33484 Telephone: 561-392-6391 Facsimile: 561-392-6965 Primary E-Mail: ServiceMail@aldridgepite.com 1100-890B June 14, 21, 2024 24-02382L

KNOWN TO BE DEAD OR ALIVE, WHETHER SAID UNKNOWN PARTIES MAY CLAIM AN INTEREST AS SPOUSES, HEIRS, DEVISEES, GRANTEES, OR OTHER CLAIMANTS are Defendants. The Clerk of the Court, Kevin C. Karnes will sell to the highest bidder for cash at www.lee.realforeclose.com on July 25, 2024 at 09:00:00 AM EST the following described real property as set forth in said Final Judgment, to wit: LOT 19 AND LOT 20, BLOCK 944, UNIT 26, CAPE CORAL SUBDIVISION, ACCORDING TO THE MAP OR PLAT THEREOF AS RECORDED IN PLAT BOOK 14, PAGE 117 THROUGH 148, PUBLIC RECORDS OF LEE COUNTY, FLORIDA. Any person claiming an interest in the surplus from the sale, if any, other than the property owner as of the date of the lis pendens must file a claim before the clerk reports the surplus as unclaimed. WITNESS my hand and the seal of the court on 06/11/2024. CLERK OF THE COURT Kevin C. Karnes (SEAL) N. Watson Deputy Clerk ALDRIDGE PITE, LLP

Attorney for Plaintiff 5300 West Atlantic Avenue Suite 303 Delray Beach, FL 33484 Telephone: 561-392-6391 Facsimile: 561-392-6965 Primary E-Mail: ServiceMail@aldridgepite.com 1338-114B June 14, 21, 2024 24-02381L

SECOND INSERTION

NOTICE OF FORECLOSURE SALE IN THE CIRCUIT COURT OF THE 20TH JUDICIAL CIRCUIT, IN AND FOR LEE COUNTY, FLORIDA

CIVIL DIVISION: CASE NO.: 24-CA-000173

U.S. BANK NATIONAL

ASSOCIATION, Plaintiff, vs. JOHN P. KATZ A/K/A JOHN PATRICK KATZ; UNKNOWN

SPOUSE OF JOHN P. KATZ A/K/A JOHN PATRICK KATZ; WENDY KATZ A/K/A WENDY CAROLINE BASTOS A/K/A WENDY C. KATZ A/K/A WENDY CAROLINE FESSLER; UNKNOWN TENANT IN POSSESSION OF THE SUBJECT PROPERTY, Defendants.

NOTICE IS HEREBY GIVEN pursuant to an Order or Final Judgment entered in the above styled cause now pending in said court and as required by Florida Statute 45.031(2), KEVIN C. KARNES as the Clerk of the Circuit Court shall sell to the highest and best bidder for cash electronically at www.Lee.realforeclose.com at, 9:00 AM on the 11 day of July, 2024, the following described property as set forth in said Final Judgment, to wit: LOTS 32 AND 33, BLOCK 2771, CAPE CORAL UNIT 40, A SUBDIVISION ACCORDING TO THE PLAT THEREOF, RECORDED IN PLAT BOOK 17, PAGES 81 THROUGH 97, IN THE PUBLIC RECORDS OF LEE COUNTY, FLORIDA. PROPERTY ADDRESS: 3209 NW 2ND PL, CAPE CORAL, FL 33993

IF YOU ARE A PERSON CLAIMING A RIGHT TO FUNDS REMAINING AFTER THE SALE, YOU MUST FILE A CLAIM WITH THE CLERK NO LATER THAN THE DATE THAT THE CLERK REPORTS THE FUNDS AS UNCLAIMED. IF YOU FAIL TO FILE A CLAIM, YOU WILL NOT BE ENTITLED TO ANY REMAINING FUNDS. AFTER THE FUNDS ARE REPORTED AS UNCLAIMED, ONLY THE OWNER OF RECORD AS OF THE DATE OF THE LIS PENDENS MAY CLAIM THE SURPLUS. Dated this day of 06/10/2024. KEVIN C. KARNES Clerk Of The Circuit Court (SEAL) By: N. Watson Deputy Clerk

Submitted by:

De Cubas & Lewis, P.A. PO Box 5026 Fort Lauderdale, FL 33310

Telephone: (954) 453-0365

Facsimile: (954) 771-6052

Toll Free: 1-800-441-2438

DESIGNATED PRIMARY E-MAIL FOR SERVICE PURSUANT TO FLA. R. JUD. ADMIN 2.516 eservice@decubaslewis.com 23-02644 June 14, 21, 2024 24-02400L

SECOND INSERTION

NOTICE OF FORECLOSURE SALE IN THE COUNTY COURT OF THE TWENTIETH JUDICIAL CIRCUIT IN AND FOR LEE COUNTY. FLORIDA CIVIL ACTION CASE NO. 23-CC-7441

ROMAN ROOFING, INC., a Florida corporation, Plaintiff, vs. TODD M. KAZAR, Defendant. NOTICE IS HEREBY GIVEN that the Lee County Clerk of Court will sell the parcel of real property described below, pursuant to the Default Final Judgment of Foreclosure (the “Final Judgment”) entered on 5/31/2024, in County Civil Case No. 23-CC-7441 of the Twentieth Judicial Circuit in and for Lee County, Florida, to the highest bidder for cash on JUNE 27, 2024, AT 9:00 A.M., via online electronic sale at https://www. Lee.RealForeclose.com: CAPE CORAL UNIT 33

BLK.2249 PB 16 PG 58 LOT 3 + 4 Property Address: 2419 NE 23rd Place, Cape Coral, Florida 33909

Any person claiming an interest in the surplus from the sale, if any, other than the property owner as of the date of the Lis Pendens must file a claim in accordance with Florida Statutes, Section 45.031.

THE COURT, IN ITS DISCRETION, MAY ENLARGE THE TIME OF THE SALE. NOTICE OF THE CHANGED TIME OF SALE SHALL BE PUBLISHED AS PROVIDED HEREIN.

Dated this 6 day of JUNE, 2024, at Lee County, Florida, by: KEVIN C. KARNES Clerk of the Court (SEAL) BY: E. Windler As Deputy Clerk By: /s/ Asher E. Knipe

Asher E. Knipe, Esq. Florida Bar No. 63951 KNOTT EBELINI HART

Attorneys for Plaintiff 1625 Hendry St., Suite 301 Fort Myers, FL 33901 (239) 334-2722 (Telephone) (239) 334-1446 (Facsimile)

Primary: aknipe@knott-law.com Secondary: jtarleton@knott-law.com June 14, 21, 2024 24-02386L

SECOND INSERTION

NOTICE OF FORECLOSURE SALE IN THE CIRCUIT COURT OF THE TWENTIETH JUDICIAL CIRCUIT, IN AND FOR LEE COUNTY, FLORIDA CIVIL DIVISION CASE NO.: 23-CA-006281 FREEDOM MORTGAGE CORPORATION PLAINTIFF, VS. LOYD MATTHEW SPEARS; ET AL., DEFENDANTS.

NOTICE IS HEREBY GIVEN pursuant to Order on Plaintiff’s Motion to Cancel and Reschedule the June 5, 2024 Foreclosure Sale dated the 28th day of May, 2024, and entered in Case No. 23-CA-006281, of the Circuit Court of the Twentieth Judicial Circuit in and for Lee County, Florida, wherein Freedom Mortgage Corporation is the Plaintiff and LOYD MATTHEW SPEARS and UNKNOWN TENANT IN POSSESSION OF THE SUBJECT PROPERTY; are defendants. Kevin C. Karnes as the Clerk of the Circuit Court shall sell to the highest and best bidder for cash electronically at www.lee.realforeclose. com at 9:00 A.M. on the 26th day of September, 2024, the following described property as set forth in said Final Judgment, to wit: LOTS 20, 21 AND 22, BLOCK 4002, UNIT 55, CAPE CORAL SUBDIVISION, ACCORDING TO THE PLAT THEREOF, AS RECORDED IN PLAT BOOK 19, PAGE(S) 92 THROUGH 106, INCLUSIVE, OF THE PUBLIC RECORDS OF LEE COUNTY, FLORIDA. IF YOU ARE A PERSON CLAIMING A RIGHT TO FUNDS REMAINING AFTER THE SALE, YOU MUST FILE A CLAIM WITH THE CLERK NO LATER THAN THE DATE THAT THE CLERK REPORTS THE FUNDS AS UNCLAIMED. IF YOU FAIL TO FILE A CLAIM, YOU WILL NOT BE ENTITLED TO ANY REMAINING FUNDS. AFTER THE FUNDS ARE REPORTED AS UNCLAIMED, ONLY THE OWNER OF RECORD AS OF THE DATE OF THE LIS PENDENS MAY CLAIM THE SURPLUS.

Dated this day of 06/10/2024

Kevin C. Karnes Clerk of The Circuit Court (SEAL) By: N. Watson Deputy Clerk

Submitted by: Miller, George & Suggs, PLLC ATTORNEY FOR PLAINTIFF

210 N. University Drive, Suite 900 Coral Springs, FL 33071 DESIGNATED PRIMARY E-MAIL FOR SERVICE PURSUANT TO FLA. R. JUD. ADMIN 2.516 ESERVICE@MGS-LEGAL.COM 23FL373-0279

June 14, 21, 2024 24-02401L

SECOND INSERTION

NOTICE OF FORECLOSURE SALE IN THE CIRCUIT COURT FOR THE TWENTIETH JUDICIAL CIRCUIT IN AND FOR LEE COUNTY, FLORIDA CIRCUIT CIVIL DIVISION CASE NO.: 23-CA-001188 NEW AMERICAN FUNDING LLC FKA BROKER SOLUTIONS INC. DBA NEW AMERICAN FUNDING Plaintiff(s), vs. TIM P. CHESNES; Defendant(s). NOTICE IS HEREBY GIVEN THAT, pursuant to Plaintiff’s Final Judgment of Foreclosure entered on April 16, 2024 in the above-captioned action, the Clerk of Court will sell to the highest and best bidder for cash at www.lee. realforeclose.com in accordance with Chapter 45, Florida Statutes on the 18th day of July, 2024 at 09:00 AM on the following described property as set forth in said Final Judgment of Foreclosure or order, to wit: THE FOLLOWING DESCRIBED LAND, SITUATE, LYING AND BEING IN THE LEE COUNTY, FLORIDA, TOWIT: LOTS 15 AND 16, BLOCK 1188, UNIT 20, PART 2, CAPE CORAL SUBDIVISION, ACCORDING TO THE PLAT THEREOF AS RECORDED IN PLAT BOOK 19, PAGES 43 TO 48, INCLUSIVE, IN THE PUBLIC RECORDS OF LEE COUNTY, FLORIDA. Property address: 2627 Southeast 17th Avenue, Cape Coral, FL 33904

Any person claiming an interest in the surplus from the sale, if any, other than the property owner as of the date of the lis pendens, must file a claim before the clerk reports the surplus as unclaimed. 06/11/2024

Kevin Karnes CLERK OF THE CIRCUIT COURT As Clerk of the Court (SEAL) BY: N. Watson Deputy Clerk Padgett Law Group, Attorney for Plaintiff 6267 Old Water Oak Road, Suite 203 Tallahassee, FL 32312 attorney@padgettlawgroup.com TDP File No. 22-007671-1 June 14, 21, 2024 24-02414L

SECOND INSERTION

NOTICE OF SALE IN THE CIRCUIT COURT OF THE TWENTIETH JUDICIAL CIRCUIT IN AND FOR LEE COUNTY, FLORIDA CIVIL DIVISION CASE NO.: 23-CA-8274

Judge: James R. Shenko NORBERT SANDERS and KITTY SANDERS, Plaintiffs, vs. SAMI ABDELMASSIA and SAMI MAKARYIOUS, LLC, a Florida Limited Liability Company, SAMI NAGUIB, LLC, a Florida Limited Liability Company, and MARINA OSAMA MAGHARIOUS, an individual, Defendants. Notice is given pursuant to FINAL JUDGMENT OF FORECLOSURE AND FOR AWARD OF ATTORNEYS’ FEES AND COSTS, entered on June 4, 2024, in Case No. 24-CA-8274 of the Circuit Court of the Twentieth Judicial Circuit in and for Lee County, Florida, in which NORBERT SANDERS and KITTY SANDERS are the Plaintiffs and SAMI ABDELMASSIA, SAMI MAKARYIOUS, LLC, SAMI NAGUIB, LLC, and MARINA OSAMA MAGHARIOUS are the Defendants, I will sell to the highest bidder for cash beginning 9:00 A.M. on September 5, 2024, at www.lee.realforeclose.com in accordance with Chapter 45, Florida Statutes, the following described property set forth in the Final Summary Judgment Of Foreclosure and For Award of Attorneys’ Fees and Costs: Unit No. 609 in Building No. 6 of Village of Stoneybrook I, a Condominium, according to the Declaration of Condominium thereof, recorded under Instrument No. 2006000058585, and any subsequent amendments thereto, Public Records of Lee County, Florida, together with an undivided interest in the common elements appurtenant thereto

Physical Address: 9450 Ivy Brook Run #609, Fort Myers, Florida 33913

Any person claiming an interest in the surplus from the sale, if any, other than the property owner as of the date of the Lis Pendens must file a claim

Dated: 06/10/2024

KEVIN C. KARNES Clerk of Courts (SEAL) By: N. Watson Deputy Clerk

Charles C. Jones, Esq. Jones, Haber & Rollings 1633 SE 47th Terrace Cape Coral, FL 33902 June 14, 21, 2024 24-02399L

NOTICE OF ACTION AS TO COUNT(S) III AGAINST DEFENDANT ANY AND ALL UNKNOWN PARTIES WHO CLAIM AN INTEREST AS SPOUSE, HEIRS, DEVISEES, GRANTEES, ASSIGNEES, LIENORS, CREDITORS, TRUSTEES, PERSONAL REPRESENTATIVES, ADMINISTRATORS OR AS OTHER CLAIMANTS, BY, THROUGH, UNDER OR AGAINST ANDRES HURTADO DE MENDOZA, DECEASED IN THE CIRCUIT COURT OF THE TWENTIETH JUDICIAL CIRCUIT, IN AND FOR LEE COUNTY, FLORIDA Case No.: 24-CA-000670 Division: Civil Judge Alane C. Laboda Coconut Plantation Condominium Association, Inc., a corporation not-for-profit under the laws of the State of Florida Plaintiff, vs. BRUNO DI FELICE, et al. Defendants.

To: ANY AND ALL UNKNOWN PARTIES WHO CLAIM AN INTEREST AS SPOUSE, HEIRS, DEVISEES, GRANTEES, ASSIGNEES, LIENORS, CREDITORS, TRUSTEES, PERSONAL REPRESENTATIVES, ADMINISTRATORS OR AS OTHER CLAIMANTS, BY, THROUGH, UNDER OR AGAINST ANDRES HURTADO DE MENDOZA, DECEASED 13111 SOUTHWEST 82 STREET MIAMI, FL 33183 UNITED STATES OF AMERICA and all parties claiming interest by, through, under or against Defendant(s) ANY AND ALL UNKNOWN PARTIES WHO CLAIM AN INTEREST AS SPOUSE, HEIRS, DEVISEES, GRANTEES, ASSIGNEES, LIENORS, CREDITORS, TRUSTEES, PERSONAL REPRESENTATIVES, ADMINISTRATORS OR AS OTHER CLAIMANTS, BY, THROUGH, UNDER OR AGAINST ANDRES HURTADO DE MENDOZA, DECEASED, and all parties having or claiming to have any right, title or interest in the property herein described; YOU ARE NOTIFIED that an action

SECOND INSERTION

NOTICE OF SALE IN THE CIRCUIT COURT OF THE TWENTIETH JUDICIAL CIRCUIT IN AND FOR LEE COUNTY, FLORIDA CIVIL DIVISION CASE NO.: 23-CA-8274

Judge: James R. Shenko NORBERT SANDERS and KITTY SANDERS, Plaintiffs, vs. SAMI ABDELMASSIA and SAMI MAKARYIOUS, LLC, a Florida Limited Liability Company, SAMI NAGUIB, LLC, a Florida Limited Liability Company, and MARINA OSAMA MAGHARIOUS, an individual, Defendants. Notice is given pursuant to FINAL JUDGMENT OF FORECLOSURE AND FOR AWARD OF ATTORNEYS’ FEES AND COSTS, entered on June 4, 2024, in Case No. 24-CA-8274 of the Circuit Court of the Twentieth Judicial Circuit in and for Lee County, Florida, in which NORBERT SANDERS and KITTY SANDERS are the Plaintiffs and SAMI ABDELMASSIA, SAMI MAKARYIOUS, LLC, SAMI NAGUIB, LLC, and MARINA OSAMA MAGHARIOUS are the Defendants, I will sell to the highest bidder for cash beginning 9:00 A.M. on September 5, 2024, at www.lee.realforeclose.com in accordance with Chapter 45, Florida Statutes, the following described property set forth in the Final Summary Judgment Of Foreclosure and For Award of Attorneys’ Fees and Costs: Unit No. 402 in Building No. 4 of Village of Stoneybrook I, a Condominium, according to the Declaration of Condominium thereof, recorded under Instrument No. 2006000058585, and any subsequent amendments thereto, Public Records of Lee County, Florida, together with an undivided interest in the common elements appurtenant thereto

Physical Address: 9430 Ivy Brook Run #402, Fort Myers, Florida 33913

Any person claiming an interest in the surplus from the sale, if any, other than the property owner as of the date of the Lis Pendens must file a claim.

Dated: 06/10/2024

KEVIN C. KARNES Clerk of Courts (SEAL) By: N. Watson Deputy Clerk Charles C. Jones, Esq. Jones, Haber & Rollings 1633 SE 47th Terrace Cape Coral, FL 33902 June 14, 21, 2024 24-02398L

to enforce a lien on the following described property in Lee County, Florida: Unit 5367, Week 50, Coconut Plantation, a Condominium (the “Condominium”), according to the Declaration of Condominium thereof as recorded in Official Records Book 4033, Page 3816, Public Records of Lee County, Florida, and all exhibits attached thereto, and any amendments thereof (the “Declaration”). Contract No.: 09-2149 has been filed against you; and you are required to serve a copy of your written defenses, if any, to it on JORDAN A. ZEPPETELLO, Plaintiff’s attorney, P. O. Box 165028, Columbus, OH 432165028, within thirty (30) days after the first publication of this Notice and file the original with the Clerk of this Court either before service on Plaintiff’s attorney or immediately thereafter; otherwise a default will be entered against you for the relief demanded in the Complaint.

NOTICE TO PERSONS WITH DISABILITIES

If you are a person with a disability who needs any accommodation in order to participate in a court proceeding, you are entitled, at no cost to you, to the provision of certain assistance. Please contact Brooke Dean, Operations Division Manager for the 20th Judicial Circuit whose office is located at the Lee County Justice Center, 1700 Monroe St., Fort Myers, FL 33901, and whose telephone number is (239) 533-1771,

30 JUNE 21 - JUNE 27, 2024 BUSINESS OBSERVER LEE COUNTY
--- ACTIONS / SALES ---
least
scheduled
COURT
SECOND INSERTION SECOND INSERTION SECOND INSERTION SECOND INSERTION LV18237_V12 What makes public notices in newspapers superior to other forms of notices? Public notices in newspapers are serendipitous. When readers page through a newspaper, they will find important public notice information they otherwise would not find anywhere else. Rarely do consumers specifically search online for public notices.
at
7 days before your
court appearance, or immediately upon receiving this notification if the time before the scheduled appearance is less than 7 days; if you are hearing or voice impaired, call 711. WITNESS my hand and seal of this Court on the day of 06/11/2024 KEVIN C. KARNES CLERK OF THE CIRCUIT
LEE COUNTY, FLORIDA (SEAL) By: N. Watson Deputy Clerk JORDAN A. ZEPPETELLO, Plaintiff’s attorney, P. O. Box 165028, Columbus, OH 43216-5028 June 14, 21, 2024 24-02423L

SECOND INSERTION

NOTICE OF FORECLOSURE SALE IN THE CIRCUIT COURT OF THE TWENTIETH JUDICIAL CIRCUIT, IN AND FOR LEE COUNTY, FLORIDA CASE NO.: 19-CA-004109 NEWREZ LLC D/B/A SHELLPOINT

MORTGAGE SERVICING, Plaintiff, v. CRISONDAT BHAGWANDIN, ET AL., Defendant(s), NOTICE IS HEREBY GIVEN pursuant to an Order dated May 29, 2024 entered in Civil Case No. 19-CA004109 in Circuit Court of the 20th Judicial Circuit in and for Lee County, Florida, wherein NEWREZ LLC D/B/A SHELLPOINT MORTGAGE SERVICING, Plaintiff and CRISONDAT BHAGWANDIN and NADIA RAMPHAL-RUPAN are Defendant(s), Kevin C. Karnes, Clerk of Court, will sell to the highest and best bidder for cash beginning at 9:00 AM at www.lee. realforeclose.com in accordance with Chapter 45, Florida Statutes on July 3, 2024 the following described property as set forth in said Final Judgment, to-wit: LOT 20, BLOCK 26, UNIT 7, LEHIGH ACRES, SECTION 27, TOWNSHIP 44 SOUTH, RANGE 27 EAST, ACCORDING TO THE MAP OR PLAT THEREOF, AS RECORDED IN PLAT BOOK 15, PAGE(S) 40, OF THE PUBLIC RECORDS OF LEE COUNTY, FLORIDA. Property Address: 610 Thompson Avenue, Lehigh Acres, FL 33972 ANY PERSON CLAIMING AN INTEREST IN THE SURPLUS FROM THE SALE, IF ANY, OTHER THAN THE PROPERTY OWNER AS OF THE DATE OF THE LIS PENDENS MUST FILE A CLAIM BEFORE THE CLERK REPORTS THE SURPLUS AS UNCLAIMED. THE COURT, IN ITS DISCRETION, MAY ENLARGE THE TIME OF THE SALE. NOTICE OF THE CHANGED TIME OF SALE SHALL BE PUBLISHED AS PROVIDED HEREIN.

Kevin C. Karnes

CLERK OF THE CIRCUIT COURT Lee County, Florida (SEAL) N. Watson DEPUTY CLERK OF COURT

Submitted by: Jordan Shealy Kelley Kronenberg 10360 West State Road 84 Fort Lauderdale, FL 33324

Service Email: ftlrealprop@kelleykronenberg.com

File No.: SF22004-JMV June 14, 21, 2024 24-02406L

SECOND INSERTION

NOTICE OF FORECLOSURE SALE IN THE CIRCUIT COURT OF THE 20TH JUDICIAL CIRCUIT, IN AND FOR LEE COUNTY, FLORIDA CIVIL DIVISION: CASE NO.: 23-CA-010606 LAKEVIEW LOAN SERVICING, LLC, Plaintiff, vs. JOSE BORGES; UNITED STATES OF AMERICA, ACTING ON BEHALF OF THE SECRETARY OF HOUSING AND URBAN DEVELOPMENT; VIVIANA TORRES; UNKNOWN TENANT IN POSSESSION OF THE SUBJECT PROPERTY, Defendants.

NOTICE IS HEREBY GIVEN pursuant to an Order or Final Judgment entered in the above styled cause now pending in said court and as required by Florida Statute 45.031(2), KEVIN C. KARNES as the Clerk of the Circuit Court shall sell to the highest and best bidder for cash electronically at www.Lee.realforeclose.com at 9:00 AM on the 10 day of July, 2024, the following described property as set forth in said Final Judgment, to wit: LOT 4, BLOCK 2, UNIT 1, LEHIGH ACRES, SECTION 21, TOWNSHIP 44 SOUTH, RANGE 27 EAST, ACCORDING TO THE PLAT THEREOF, RECORDED IN PLAT BOOK 15, PAGE(S) 1 THROUGH 101, INCLUSIVE, AND DEED BOOK 254, PAGE 65, OF THE PUBLIC RECORDS OF LEE COUNTY, FLORIDA. PROPERTY ADDRESS: 816 MCKINLEY AVENUE, LEHIGH ACRES, FL 33972 IF YOU ARE A PERSON CLAIMING A RIGHT TO FUNDS REMAINING AFTER THE SALE, YOU MUST FILE A CLAIM WITH THE CLERK NO LATER THAN THE DATE THAT THE CLERK REPORTS THE FUNDS AS UNCLAIMED. IF YOU FAIL TO FILE A CLAIM, YOU WILL NOT BE ENTITLED TO ANY REMAINING FUNDS. AFTER THE FUNDS ARE REPORTED AS UNCLAIMED, ONLY THE OWNER OF RECORD AS OF THE DATE OF THE LIS PENDENS MAY CLAIM THE SURPLUS. Dated this day of 06/12/2024. KEVIN C. KARNES Clerk Of The Circuit Court (SEAL) By: N. Watson Deputy Clerk

Submitted by: De Cubas & Lewis, P.A. PO Box 5026

Fort Lauderdale, FL 33310

Telephone: (954) 453-0365 Facsimile: (954) 771-6052 Toll Free: 1-800-441-2438

DESIGNATED PRIMARY E-MAIL FOR SERVICE PURSUANT TO FLA. R. JUD. ADMIN 2.516 eservice@decubaslewis.com 23-00769 June 14, 21, 2024 24-02433L

LEE COUNTY

SECOND INSERTION

NOTICE TO CREDITORS IN THE CIRCUIT COURT FOR LEE COUNTY, FLORIDA PROBATE DIVISION File No. 24-CP-1752

IN RE: ESTATE OF JOSE A. SACRAMENTO, JR. Deceased.

The administration of the estate of Jose A. Sacramento, Jr., deceased, whose date of death was May 11, 2024, is pending in the Circuit Court for Lee County, Florida, Probate Division, the address of which is P.O. Box 9346, Fort Myers, Florida 33902. The names and addresses of the personal representative and the personal representative’s attorney are set forth below.

All creditors of the decedent and other persons having claims or demands against decedent’s estate on whom a copy of this notice is required to be served must file their claims with this court ON OR BEFORE THE LATER OF 3 MONTHS AFTER THE TIME OF THE FIRST PUBLICATION OF THIS NOTICE OR 30 DAYS AFTER THE DATE OF SERVICE OF A COPY OF THIS NOTICE ON THEM.

All other creditors of the decedent and other persons having claims or demands against decedent’s estate must file their claims with this court WITHIN 3 MONTHS AFTER THE DATE OF THE FIRST PUBLICATION OF THIS NOTICE.

ALL CLAIMS NOT FILED WITHIN THE TIME PERIODS SET FORTH IN FLORIDA STATUTES SECTION 733.702 WILL BE FOREVER BARRED.

NOTWITHSTANDING THE TIME PERIODS SET FORTH ABOVE, ANY CLAIM FILED TWO (2) YEARS OR MORE AFTER THE DECEDENT’S DATE OF DEATH IS BARRED.

The date of first publication of this notice is June 14, 2024.

Personal Representative: Christa E. Soto 4863 Marston Lane Lake Worth, Florida 33467

Attorney for Personal Representative: Janet M. Strickland

Law Office of Janet M. Strickland, P.A. Florida Bar Number: 137472 2340 Periwinkle Way, Suite J-1 Sanibel, Florida 33957

Telephone: (239) 472-3322

E-Mail: jms@sanibellaw.net

Secondary E-Mail: jms2@sanibellaw.net

STATE OF FLORIDA COUNTY OF PALM BEACH

Sworn to (or affirmed) and subscribed before me by means of physical presense, this 30 day of May, 2024, by Christa Soto (NOTARY SEAL) /s/ Stefanie Mysel Produced Identification Type of Identification Produced Florida License Stefanie Mysel Notary Public - State of Florida Commission# HH 520336

My Comm. Expires Apr 24, 2028 Bonded through National Notary Assn. June 14, 21, 2024 24-002434L

SAND AND NO/100 DOLLARS

NOTICE OF ACTION IN THE CIRCUIT COURT OF THE 20TH JUDICIAL CIRCUIT IN AND FOR LEE COUNTY, FLORIDA CIVIL DIVISION Case no. 24-CA-000674

NOTICE OF JUDICIAL SALE IN THE CIRCUIT COURT OF THE 20TH JUDICIAL CIRCUIT IN AND FOR LEE COUNTY, FLORIDA CASE NO. 23-CA-009709 FANNIE MAE, Plaintiff, v. LEHIGH ACRES BG PROPCO LLC, MASTER TENANT (FNMA) BG OPCO LLC, and LEHIGH ACRES BG OPCO LLC. Defendants.

NOTICE OF SALE IS HEREBY GIVEN, pursuant to the order of the Final Judgment of Foreclosure, dated April 9, 2024, and entered in 23-CA-009709 of the Circuit Court of the Twentieth Judicial Circuit in and for Lee County, Florida, wherein LEHIGH ACRES BG PROPCO LLC, MASTER TENANT (FNMA) BG OPCO LLC, and LEHIGH ACRES BG OPCO LLC, are the Defendants. The office of Kevin C. Carnes, the Lee County Clerk of the Court, will sell to the highest bidder for cash via electronic sale at the following website: https://www.lee.realforeclose.com/ at 9:00 AM on the 27th day of June 2024, the following described property as set forth in said Final Judgment of Foreclosure to wit: A PARCEL OF LAND IN THE EAST HALF OF SECTION 31, TOWNSHIP 44 SOUTH, RANGE 27 EAST, LEE COUNTY, FLORIDA, BEING MORE PARTICULARLY DESCRIBED AS FOLLOWS: COMMENCING AT THE SOUTHEAST CORNER OF SECTION 31, TOWNSHIP 44 SOUTH, RANGE 27 EAST, LEE COUNTY, FLORIDA; THENCE NORTH 00°52’8” EAST ALONG THE EAST SECTION LINE OF SAID SECTION 31, A DISTANCE OF 1563.32 FEET TO THE INTERSECTION OF THE CENTERLINE OF HOMESTEAD ROAD (80’ RIGHTOF-WAY) AND THE EAST SECTION LINE OF SAID SECTION 31; THENCE NORTH 45°11’33” WEST, ALONG THE CENTERLINE OF HOMESTEAD ROAD, A DISTANCE OF 375.19 FEET, TO THE INTERSECTION OF THE CENTERLINE OF HOMESTEAD ROAD AND SOUTH LOOP BOULEVARD (80’ RIGHTOF-WAY); THENCE SOUTH

NOTICE OF ACTION; CONSTRUCTIVE SERVICEPROPERTY IN THE CIRCUIT COURT OF THE TWENTIETH JUDICIAL CIRCUIT OF THE STATE OF FLORIDA, IN AND FOR LEE COUNTY, CIVIL DIVISION CASE NO.:23-CA-013595 FREEDOM MORTGAGE CORPORATION, Plaintiff, vs. ESTATE OF KIMBERLY SUE ROWLAND; UNKNOWN HEIRS OF KIMBERLY SUE ROWLAND; SECRETARY OF THE U.S. DEPARTMENT OF HOUSING AND URBAN DEVELOPMENT; UNKNOWN TENANT #1; UNKNOWN TENANT #2, Defendants.

SECOND INSERTION

44°48’27” WEST ALONG THE CENTERLINE OF SOUTH LOOP BOULEVARD, A DISTANCE OF 219.60 FEET, TO THE POINT OF CURVATURE OF A CURVE TO THE RIGHT HAVING A RADIUS OF 265.05 FEET, A DELTA ANGLE OF 44°40’46”; THENCE ALONG SAID CURVE AN ARC DISTANCE OF 206.69 FEET, TO TH POINT OF TANGENCY, THENCE SOUTH 89°29’13” WEST, A DISTANCE OF 759.53 FEET, TO THE INTERSECTION OF THE CENTERLINES OF SOUTH LOOP BOULEVARD AND BUSINESS WAY (80’ RIGHT-OF-WAY); THENCE NORTH 00°30’47” WEST, A DISTANCE OF 65.00 FEET, TO THE POINT OF CURVATURE OF A CURVE TO THE LEFT, HAVING A RADIUS OF 139.66 FEET, AND A DELTA ANGLE OF 44°40’46”, THENCE ALONG SAID CURVE AN ARC DISTANCE OF 108.91 FEET, TO THE POINT OF TANGENCY; THENCE SOUTH 44°48’27” WEST, A DISTANCE OF 40.00 FEET, TO THE SOUTHWESTERLY RIGHT-OF-WAY LINE OF BUSINESS WAY; THENCE NORTH 45°11’33” WEST, ALONG SAID RIGHT-OF-WAY LINE A DISTANCE 760.40 FEET TO THE POINT OF BEGINNING. THENCE DEPARTING SAID RIGHT-OF-WAY LINE SOUTH 44°48’27” WEST, A DISTANCE OF 432.69 FEET TO THE NORTHEASTERLY RIGHT-OF-WAY LINE OF SOUTH LOOP BOULEVARD (80’ R/W); THENCE ALONG SAID RIGHT-OF-WAY LINE NORTH 45°11’33” WEST, A DISTANCE OF 14.16 FEET TO THE POINT OF CURVATURE OF A TANGENT CURVE CONCAVE NORTHEASTERLY; THENCE ALONG THE ARC OF SAID CURVE TO THE RIGHT, HAVING A RADIUS OF 110.00 FEET, A DELTA ANGLE OF 45°32’01”, THE CHORD FOR WHICH BEARS NORTH 22°25’32” WEST, 85.14 FEET, AN ARC DISTANCE OF 87.42

SECOND INSERTION

TO: SARAH COLELLA, 30017 NE 5TH AVENUE, CAPE CORAL, FL 33909 YOU ARE NOTIFIED that an action to foreclose to the following properties in Lee County, Florida: LOTS 21 AND 22, BLOCK 3, SAN CARLOS PARK UNIT 1, ACCORDING TO THE PLAT THEREOF AS RECORDED IN PLAT BOOK 9, PAGE 122, OF THE PUBLIC RECORDS OF LEE COUNTY, FLORIDA. Property Address: 19082 Flamingo Rd, Fort Myers, FL, 33967 has been filed against you and you are required to serve a copy of your written defenses, if any, to it on Sokolof Remtulla, LLP, the plaintiff’s attorney, whose address is 6801 Lake Worth

FEET TO THE END OF SAID CURVE; THENCE NORTH 00°20’28” EAST, A DISTANCE OF 462.83 FEET, TO THE POINT OF CURVATURE OF A TANGENT CURVE CONCAVE EASTERLY; THENCE ALONG THE ARC OF SAID CURVE TO THE RIGHT, HAVING A RADIUS OF 30.00 FEET, A DELTA ANGLE OF 44°27’59”, THE CHORD FOR WHICH BEARS NORTH 22°34’27” EAST, 22.70 FEET, AN ARC DISTANCE OF 23.28 FEET TO THE END OF SAID CURVE; THENCE NORTH 44°48’27” EAST, A DISTANCE OF 18.43 FEET TO THE POINT OF CURVATURE OF A TANGENT CURVE CONCAVE SOUTHEASTERLY, THENCE ALONG THE ARC OF SAID CURVE TO THE RIGHT, HAVING A RADIUS OF 30.00 FEET, A DELTA ANGLE OF 90°00’00”, THE CHORD FOR WHICH BEARS NORTH 89°48’27” EAST, 42.43 FEET, AN ARC DISTANCE OF 47.12 FEET TO THE SOUTHERLY RIGHT-OF-WAY LINE OF BUSINESS WAY AND THE END OF SAID CURVE; THENCE SOUTH 45°11’33” EAST, A DISTANCE OF 395.46 FEET, TO THE POINT OF BEGINNING. Any person claiming an interest in the surplus from the sale, if any, other than the property owner as of the date of the Lis Pendens must file a claim in accordance with Florida Statutes, Section 45.031. WITNESS MY HAND and the seal of this Court on May 20, 2024. 06/12/2024 Kevin C. Karnes Clerk of Court (SEAL) N. Watson Respectfully submitted: Nardo

Road, Suite 100E, Greenacres, FL 33467 within 30 days, and file the original with the clerk of this court either before service on the plaintiff’s attorney or immediately thereafter; otherwise a default will be entered against you for the relief demanded in the complaint or petition.

DATED on 06/11/2024

KEVIN KARNES CLERK OF THE CIRCUIT COURT (SEAL) By: N. Watson DEPUTY CLERK SOKOLOF REMTULLA, LLP 6801 Lake Worth Road, Suite 100E Greenacres, FL 33467 Telephone: 561-507-5252 Facsimile: 561-342-4842

E-mail: pleadings@sokrem.com Counsel for Plaintiff June 14, 21, 2024 24-02426L SECOND INSERTION SECOND INSERTION

OLD BRIDGE VILLAGE CO-OP, INC., a Florida not-for-profit corporation, Plaintiff, -vsUNKNOWN SPOUSE, HEIRS, DEVISEES, GRANTEES, ASSIGNEES, LIENORS, CREDITORS, TRUSTEES, OR OTHER CLAIMANTS CLAIMING BY, THROUGH, UNDER OF AGAINST, LEONA D. HOWELL

a/k/a LEONA M. HOWELL, DECEASED, FRED TWITCHEL, ROBERT SHOAFF, UNKNOWN PERSONS IN POSSESSION, UNITED STATES OF AMERICA INTERNAL REVENUE SERVICE, and FLORIDA DEPARTMENT OF REVENUE, Defendants.

TO: Defendant, Unknown Spouse, Heirs, Devisees, Grantees, Assignees, Lienors, Creditors, Trustees, or Other Claimants Claiming By, Through, Under of Against, LEONA D. HOWELL

a/k/a LEONA M. HOWELL, deceased

YOU ARE NOTIFIED that Plaintiff, Old Bridge Village Co-op, Inc. has filed an action seeking to eject you and quiet

tile to real property identified as 14589 Paul Revere Loop, North Fort Myers, Florida 33917 located in Lee County, Florida, and more particularly identified as follows:

Unit # 508 of OLD BRIDGE VILLAGE, a Cooperative Mobile Home Park, according to Exhibit “B” (Plot Plan) of the Master Form Proprietary Lease recorded on July 12, 2002 in Official Records Book 03684, Page 4782, Public Records of Lee County, Florida; subject to: Mortgage encumbering the park in favor of BANK OF AMERICA, N.A., in the principal amount of TWENTY MILLION, SIX HUNDRED FIFTY THOU-

($20,650,000.00) recorded July, 23, 2002 in Official Records Book 03691, Page 0813; and Collateral Assignment of Leases, Rents and Profits recorded July 23, 2002 in Official Records Book 03691, Page 0825; and the Future Advance Receipt under Mortgage Providing for Future Advances recorded July 23, 2002 in Official Records Book 03691, Page 0838; all of the Public Records of Lee County, Florida; and the Articles of Incorporation, Bylaws and Rules and Regulations of OLD BRIDGE VILLAGE COOP, INC. upon which lies the following double-wide mobile home: YEAR: 1980, MAKE: HARB, and VIN NOS. #16137A & 16137B and on or before July 22, 2024, you are required to serve a copy of your written defenses, if any, on Michael E. Schuchat, Esq., Plaintiff’s attorney, whose address is Lutz, Bobo & Telfair, P.A., Two North Tamiami Trail, Suite 500, Sarasota, Florida 34236, and file the original with this Court either before service on Plaintiff’s attorney or immediately thereafter; otherwise a default will be entered against you for the relief demanded in the Complaint or petition. This notice shall be published once each week for four consecutive weeks in the Business Observer. WITNESS my hand and the seal of this Court on this 10th day of June, 2024.

KEVIN C. KARNES Clerk of the Circuit Court (SEAL) By: K. Harris Deputy Clerk

Jonathan P. Whitney, Esq. Lutz, Bobo & Telfair, P.A. Two North Tamiami Trail, Suite 500 Sarasota, Florida 34236 jwhitney@lutzbobo.com Jun. 14, 21, 28; Jul. 5, 2024 24-02393L

NOTICE OF SALE PURSUANT TO CHAPTER 45 IN THE CIRCUIT COURT OF THE TWENTIETH JUDICIAL CIRCUIT IN AND FOR LEE COUNTY, FLORIDA. CIVIL DIVISION CASE NO. 23-CA-006472 LAKEVIEW LOAN SERVICING, LLC, Plaintiff, vs. LAURA VIERRE; SOUTHERN PALMS CONDOMINIUM ASSOCIATION, INC.; UNKNOWN TENANT NO. l; UNKNOWN TENANT NO. 2; and ALL UNKNOWN PARTIES CLAIMING INTERESTS BY, THROUGH, UNDER OR AGAINST A NAMED DEFENDANT TO THIS ACTION, OR HAVING OR CLAIMING TO HAVE ANY RIGHT, TITLE OR INTEREST IN THE PROPERTY HEREIN DESCRIBED, Defendant(s).

NOTICE IS HEREBY GIVEN pursuant to an Order or Summary Final Judgment of foreclosure dated May 28, 2024, and entered in Case No. 23-CA-006472 of the Circuit Court in and for Lee County, Florida, wherein LAKEVIEW LOAN SERVICING, LLC is Plaintiff and LAURA VIERRE; SOUTHERN PALMS CONDOMINIUM ASSOCIATION, INC.; UNKNOWN TENANT NO. 1; UNKNOWN TENANT NO. 2; and ALL UNKNOWN PARTIES CLAIMING INTERESTS BY, THROUGH, UNDER OR AGAINST A NAMED

DEFENDANT TO THIS ACTION, OR HAVING OR CLAIMING TO HAVE ANY RIGHT, TITLE OR INTEREST IN THE PROPERTY HEREIN DESCRIBED, are Defendants, I will sell to the highest and best bidder for cash on Lee County’s Public Auction website, www.lee.realforeclose.com, 9:00 a.m., on June 27, 2024, the following

described property as set forth in said Order or Final Judgment, to-wit: CONDOMINIUM UNIT 201, SOUTHERN PALMS CONDOMINIUM, TOGETHER WITH AN UNDIVIDED INTEREST IN THE COMMON ELEMENTS, ACCORDING TO THE DECLARATION OF CONDOMINIUM THEREOF, RECORDED IN OFFICIAL RECORDS BOOK 1888, PAGE 1362, AS AMENDED FROM TIME TO TIME, OF THE PUBLIC RECORDS OF LEE COUNTY, FLORIDA. ANY PERSON CLAIMING AN INTEREST IN THE SURPLUS FROM THE SALE, IF ANY, OTHER THAN THE PROPERTY OWNER AS OF THE DATE OF THE LIS PENDENS MUST FILE A CLAIM BEFORE THE CLERK REPORTS THE SURPLUS AS UNCLAIMED. THE COURT, IN ITS DESCRETION, MAY ENLARGE THE TIME OF THE SALE. NOTICE OF THE CHANGED TIME OF SALE SHALL BE PUBLISHED AS PROVIDED HEREIN.

Pursuant to Florida Statute 45.031(2), this notice shall be published twice, once a week for two consecutive weeks, with the last publication being at least 5 days prior to the sale. DATED at Ft. Myers, Florida, on JUNE 6, 2024.

KEVIN C. KARNES As Clerk, Circuit Court (SEAL) By: E. Windler As Deputy Clerk Diaz Anselmo & Associates, P.A. Attorneys for Plaintiff P.O. BOX 19519 Fort Lauderdale, FL 33318

Telephone: (954) 564-0071

Service E-mail: answers@dallegal.com

NOTICE OF ACTION IN THE CIRCUIT COURT OF THE 20TH JUDICIAL CIRCUIT, IN AND FOR LEE COUNTY, FLORIDA CASE NO. 24-CA-003880 BIRSCEO LLC, Plaintiff(s), vs. JAMES ORA WILLS, JR.; DAVID OLIVER WILLS; SANDRA KAY MCKAY (WILLS) and TERRY LEE WILLS; if living, and if dead, her/his/their unknown estates, spouses, widows, heirs, devisees, trustees, beneficiaries, grantors, creditors, grantees, and all parties having or claiming by, through, under or against any and all persons claiming any right, title, interest, claim, lien, estate or demand against the named Defendants in regard to the subject property, Defendants.

TO: JAMES ORA WILLS, JR., last known address 8990 COUNTY ROAD 691, TRINIDAD, CO 81082 -8810; DAVID OLIVER WILLS, last known address 2663 US HIGHWAY 160 W, MONTE VISTA, CO 81144; SANDRA KAY MCKAY (WILLS), last known address 101 N PARKER ST, PALISADE, NE 69040-6153; TERRY LEE WILLS, last known address 159 BURKE ST., BAILEY, CO 80421-1524; and her/ his/their unknown spouses, estates, widows, heirs, devisees, beneficiaries, grantors, creditors, grantees, and all parties having or claiming by, through, under or against any and all persons claiming any right, title, interest, claim, lien, estate or demand against the named Defendants in regard to the subject property.

YOU ARE NOTIFIED that an action has been filed against you to quiet title pursuant to a tax deed to the following property(ies) located in Lee County, Florida: Lots 27 & 28, Block 2163, Unit

32, CAPE CORAL, according to the plat thereof recorded in Plat Book 16, Pages 1-13, of the Public Records of Lee County, Florida., Strap Number: 31-43-24-C102163.0270, Site address: 2208 NE 9TH AVE, CAPE CORAL, FL 33909. You are required to serve a copy of your written response, if any, to the action on Ilian Rashtanov, Plaintiff’s attorney, whose address is One E. Broward Blvd., Ste. 700, Ft. Lauderdale, Florida 33301, ir@rashtanov-law.com, on or before July 15, 2024, and file the original with the clerk of this court either before service on Plaintiff’s attorney or immediately after service; otherwise, a default will be entered against you for the relief demanded in the complaint or petition. If you are a person with a disability who needs any accommodation in order to participate in this proceeding, you are entitled, at no cost to you, to the provision of certain assistance. Please contact Brooke Dean, Operations Division Manager, whose office is located at Lee County Justice Center, 1700 Monroe Street, Fort Myers, Florida 33901, and whose telephone number is (239) 533-1771, at least

31 JUNE 21 - JUNE 27, 2024 BusinessObserverFL.com
1463-186730 / TM1 June 14, 21, 2024 24-02385L
--- ACTIONS / SALES ---
7 days before your scheduled court appearance, or immediately upon receiving this notification if the time before the scheduled appearance is less than 7 days; if you are hearing or voice impaired, call 711. DATED 06/05/2024. Kevin C. Karnes, as Clerk of Court (SEAL) By: K. Harris Deputy Clerk Ilian Rashtanov, Plaintiff’s attorney, One E. Broward Blvd., Ste. 700, Ft. Lauderdale, Florida 33301, ir@rashtanov-law.com Jun. 14, 21, 28; Jul. 5, 2024 24-02384L
Dorsin Florida Bar No. 126301 POLSINELLI PC 315 S. Biscayne Blvd, Suite 400 Telephone: 305-921-1848 Facsimile: 305-921-1800
ndorsin@polsinelli.com FLdocketing@polsinelli.com Attorneys for Plaintiff 95112448.1 June 14, 21, 2024 24-02432L
SECOND INSERTION

NOTICE OF ACTION IN THE CIRCUIT COURT OF THE TWENTIETH JUDICIAL CIRCUIT

IN AND FOR LEE COUNTY, FLORIDA

CASE NO.: 24-CA-003594

CORVETTE INVESTMENT GROUP

LLC, Plaintiff, v.

MARYHAM H. O.S. ALHOULAH, Defendants.

TO: MARYHAM H. O.S. ALHOULAH

BLOCK 1, STREET 72, PLOT 5004

FARWANIYA, KUWAIT

YOU ARE NOTIFIED that an action to quiet title on the following property in Lee County, Florida: THE FOLLOWING DESCRIBED LAND, SITUATE, LYING, AND BEING IN LEE COUNTY, FLORIDA, TO WIT:

Lot 15, Block 75, Unit 16, Section 12, Township 45 South, Range 27 East, Lehigh Acres, according to the plat thereof, recorded in Plat Book 15, Page 238, Public Records of Lee County, Florida. has been filed against you and that you

are required to serve a copy of your written defenses, if any, to it on The Law Office of C.W. Wickersham, Jr., P.A., Plaintiff’s attorney, at 2720 Park Street, Suite 205, Jacksonville, Florida, 32205, Phone Number: (904) 389-6202, not less than 28 days of the first date of publication of this Notice, and file the original with the Clerk of this Court, at 2075 Dr Martin Luther King Jr Blvd, Fort Myers, FL 33901 before service on Plaintiff or immediately thereafter. If you fail to do so, a Default may be entered against you for the relief demanded in the Complaint. DATED this 24th day of May, 2024. Kevin C. Karnes Clerk of the Circuit Court (SEAL) By: K. Harris As Deputy Clerk The Law Office of C.W. Wickersham, Jr., P.A., Plaintiff’s attorney, 2720 Park Street, Suite 205, Jacksonville, Florida, 32205, Phone Number: (904) 389-6202 May 31; June 7, 14, 21, 2024 24-02218L FOURTH INSERTION

NOTICE OF ACTION IN THE CIRCUIT COURT OF THE TWENTIETH JUDICIAL CIRCUIT IN AND FOR LEE COUNTY, FLORIDA. CIVIL DIVISION CASE NO. 24-CA-000152

U.S. BANK TRUST NATIONAL ASSOCIATION, NOT IN ITS INDIVIDUAL CAPACITY BUT SOLELY AS OWNER TRUSTEE FOR VRMTG ASSET TRUST, Plaintiff, vs. WALTER BALAN; UNITED STATES OF AMERICA, ON BEHALF OF THE SECRETARY OF HOUSING AND URBAN DEVELOPMENT; MARY JO CRAGER F/K/A MARY JO SUMMERS; UNKNOWN SPOUSE OF MARY JO CRAGER F/K/A MARY JO SUMMERS; TED E. FOWLER, SR.; UNKNOWN SPOUSE OF TED E. FOWLER, SR.; UNKNOWN TENANT NO. 1; UNKNOWN TENANT NO. 2; and ALL UNKNOWN PARTIES

NOTICE OF ACTION AS TO COUNT(S) II AGAINST DEFENDANT ARTHUR L. BUSTAMANTE, AS POTENTIAL HEIR TO MARTHA ELSIE BUSTAMANTE AND ANY AND ALL UNKNOWN PARTIES WHO CLAIM AN INTEREST AS SPOUSE, HEIRS, DEVISEES, GRANTEES, ASSIGNEES, LIENORS, CREDITORS, TRUSTEES, PERSONAL REPRESENTATIVES, ADMINISTRATORS OR AS OTHER CLAIMANTS, BY, THROUGH, UNDER OR AGAINST MARTHA ELSIE BUSTAMANTE, DECEASED IN THE CIRCUIT COURT OF THE TWENTIETH JUDICIAL CIRCUIT, IN AND FOR LEE COUNTY, FLORIDA

Case No.: 24-CA-000670 Division: Civil Judge Alane C. Laboda Coconut Plantation Condominium Association, Inc., a corporation not-for-profit under the laws of the State of Florida Plaintiff, vs. BRUNO DI FELICE, et al. Defendants.

To: ARTHUR L. BUSTAMANTE, AS POTENTIAL HEIR TO MARTHA ELSIE

CLAIMING INTERESTS BY, THROUGH, UNDER OR AGAINST A NAMED DEFENDANT TO THIS ACTION, OR HAVING OR CLAIMING TO HAVE ANY RIGHT, TITLE OR INTEREST IN THE PROPERTY HEREIN DESCRIBED, Defendant(s). TO: MARY JO CRAGER F/K/A MARY JO SUMMERS Last Known Address UNKNOWN ADDRESS Current Residence is Unknown TO: UNKNOWN SPOUSE OF MARY JO CRAGER F/K/A MARY JO SUMMERS Last Known Address UNKNOWN ADDRESS Current Residence is Unknown TO: UNKNOWN SPOUSE OF TED E. FOWLER, SR. Last Known Address UNKNOWN ADDRESS Current Residence is Unknown YOU ARE NOTIFIED that an action to foreclose a mortgage on the following described property in Lee County,

BUSTAMANTE 18181 NORTH EAST 31ST COURT APARTMENT 2309 AVENTURA, FL 33160 UNITED STATES OF AMERICA ANY AND ALL UNKNOWN PARTIES WHO CLAIM AN INTEREST AS SPOUSE, HEIRS, DEVISEES, GRANTEES, ASSIGNEES, LIENORS, CREDITORS, TRUSTEES, PERSONAL REPRESENTATIVES, ADMINISTRATORS OR AS OTHER CLAIMANTS, BY, THROUGH, UNDER OR AGAINST MARTHA ELSIE BUSTAMANTE, DECEASED 18181 NORTH EAST 31ST COURT APARTMENT 2309 AVENTURA, FL 33160 UNITED STATES OF AMERICA and all parties claiming interest by, through, under or against Defendant(s) ARTHUR L. BUSTAMANTE, AS POTENTIAL HEIR TO MARTHA ELSIE BUSTAMANTE AND ANY AND ALL UNKNOWN PARTIES WHO CLAIM AN INTEREST AS SPOUSE, HEIRS, DEVISEES, GRANTEES, ASSIGNEES, LIENORS, CREDITORS, TRUSTEES, PERSONAL REPRESENTATIVES, ADMINISTRATORS OR AS OTHER CLAIMANTS, BY, THROUGH, UNDER OR AGAINST

THIRD INSERTION

AMENDED NOTICE OF ACTION FOR ANNULMENT OR DISSOLUTION OF MARRIAGE IN THE CIRCUIT COURT OF THE TWENTIETH JUDICIAL CIRCUIT, IN AND FOR LEE COUNTY, FLORIDA Case No. 23-DR-006613 Melissa Rodriguez, Petitioner, v Jimmy E. Rivera, Respondent.

TO: Jimmy E. Rivera (Last known address) 3104 41st Street SW, Lehigh Acres, FL 33976 YOU ARE HEREBY NOTIFIED that an Amended Petition for Annulment of Marriage with Minor Children and Real Property and Count II. Petition for Dissolution of Marriage with Minor Children and Real Property has been filed against you and that you are required to serve a copy of your written defenses, if any, on Melissa Rodriguez c/o ALLAN T. GRIFFITH, ESQ., of Allan T. Griffith, P.A., Counsel for Petitioner, whose address is: 2100 McGregor Boulevard, Fort Myers, Florida 33901, Telephone: (239) 334-9199, on or before the 17th day of July, 2024, and file the original with the clerk of this Court at: 2075 Dr. Martin Luther King, Jr. Blvd., Fort Myers, FL 33901, before service on Petitioner’s counsel or immediately thereafter. If you fail to do so, a default may be entered against you for the relief demanded in the Petition(s). Real Property addressed as: 205 Sca-

THIRD INSERTION

NOTICE OF ACTION IN THE CIRCUIT COURT OF THE TWENTIETH JUDICIAL CIRCUIT IN AND FOR LEE COUNTY, FLORIDA CIVIL DIVISION CASE NO.: 2023-CA-009289

JORGE DE LOS SANTOS, Plaintiff, vs. ANNY CHEN WEI SY, THE UKNOWN HEIRS OF ANNY CHEN WEI SY, and ANY OTHER PERSON OR CORPORATION CLAIMING ANY INTEREST IN THE LAND WHICH IS THE SUBJECT OF THIS ACTION, Defendants.

TO: GERTRUDE MEYERS; JAMES E GOLDEN; BERNADINE GOLDEN, FREDERICK MATYN; DOROTHY MATYN; MARY LENZ; ELMER WESTEGARD; MORA WESTEGARD; CHESTER W. HANSEN, SR.; CARY HANSEN; and ANY OTHER PERSON OR CORPORATION CLAIMING ANY INTEREST IN THE LAND WHICH IS THE SUBJECT OF THIS ACTION and LADC, INC. (f/k/a LEHIGH ACRES

Florida: LOTS 21 AND 22, BLOCK 7, UNIT NO. 2, SAN CARLOS PARK SUBDIVISION, ACCORDING TO THE PLAT THEREOF, AS RECORDED IN PLAT BOOK 10 AT PAGE 128 OF THE PUBLIC RECORDS OF LEE COUNTY, FLORIDA. has been filed against you and you are required to serve a copy of your written defenses, if any, to it on Diaz Anselmo & Associates, P.A., Plaintiff’s attorneys, whose address is P.O. BOX 19519, Fort Lauderdale, FL 33318, (954) 564-0071, answers@dallegal. com, within 30 days from first date of publication, and file the original with the Clerk of this Court either before service on Plaintiff’s attorneys or immediately thereafter; otherwise a default will be entered against you for the relief demanded in the complaint or petition.

If you are a person with a disability who needs any accommodation in order to participate in this proceeding,

MARTHA ELSIE BUSTAMANTE, DECEASED, and all parties having or claiming to have any right, title or interest in the property herein described; YOU ARE NOTIFIED that an action to enforce a lien on the following described property in Lee County, Florida: Unit 5168L, Week 19, Odd Year Biennial Coconut Plantation, a Condominium (the “Condominium”), according to the Declaration of Condominium thereof recorded in Official Records Book 4033, Page 3816, Public Records of Lee County, Florida, and all exhibits attached thereto, and any amendments thereof (the “Declaration”).

Contract No.: 09-3627 has been filed against you; and you are required to serve a copy of your written defenses, if any, to it on JORDAN A. ZEPPETELLO, Plaintiff’s attorney, P. O. Box 165028, Columbus, OH 432165028, within thirty (30) days after the first publication of this Notice and file the original with the Clerk of this Court either before service on Plaintiff’s attorney or immediately thereafter; otherwise a default will be entered against you for the relief demanded in the Complaint.

ton Avenue, Lehigh Acres, FL 33936 and legally described as: Lot 118 of PARKWOOD, Section 31, Township 44 South, Range 27 East, Lehigh Acres, according to the Plat thereof as recorded in Plat Book 26, Page(s) 57, of the Public Records of Lee County, Florida. Parcel ID: 31-44-27-07-00000.1180 Copies of all court documents in this case, including orders, are available at the Clerk of the Circuit Court’s office. You may review these documents upon request. You must keep the Clerk of the Circuit Court’s office notified of your current address. (You may file a Designation of Current Mailing and E-Mailing Address, Florida Supreme Court Approved Family Law Form 12.915.) Future papers in this lawsuit will be mailed or e-mailed to the addresses on record at the clerk’s office.

WARNING: Rule 12.285, Florida Family Law Rules of Procedure, requires certain automatic disclosure of documents and information. Failure to comply can result in sanctions, including dismissal or striking of pleadings. WITNESS my hand and seal of the above entitled court, this 3rd day of June, 2024.

CLERK OF THE CIRCUIT COURT

Kevin C. Karnes, (SEAL) BY: J. Collins As Deputy Clerk June 7, 14, 21, 28, 2024 24-02295L

DEVELOPMENT CORPORATION) and THE CAPE CORAL BANK YOU ARE NOTIFIED that a civil action for quiet title has been filed against you and you are required to serve a copy of your written defenses, if any, to it on WESLEY T. MATHIEU, ESQ., the Plaintiff’s attorney, whose address is 1314 Cape Coral Parkway East, Suite 320 Cape Coral, Florida 33904, on or before July 9, 2024 and file the original with the Clerk of this court either before service on the plaintiff’s attorney or immediately thereafter; otherwise a default will be entered against you for the relief demanded in the complaint or petition.

Dated this 30th day of May, 2024. Kevin C. Karnes Clerk of the Court (SEAL) By: K. Harris Deputy Clerk

WESLEY T. MATHIEU, ESQ., the Plaintiff’s attorney, 1314 Cape Coral Parkway East, Suite 320 Cape Coral, Florida 33904 June 7, 14, 21, 28, 2024 24-02268L

you are entitled, at no cost to you, to the provision of certain assistance. Please contact Ken Kellum, Court Operations Manager whose office is located at Lee County Justice Center, 1700 Monroe Street, Fort Myers, FL 33901, and whose telephone number is (239) 533-1700, at least 7 days before your scheduled court appearance, or immediately upon receiving this notification if the time before the scheduled appearance is less than 7 days; if you are hearing or voice impaired, call 711. DATED on 06/11/2024. Kevin C. Karnes As Clerk of the Court (SEAL) By: N. Watson As Deputy Clerk Diaz Anselmo & Associates, P.A., Plaintiff’s attorneys, P.O. BOX 19519, Fort Lauderdale, FL 33318, (954) 564-0071, answers@dallegal.com 1446-194470 / VP2 June 14, 21, 2024 24-02427L

NOTICE TO PERSONS WITH DIS-

ABILITIES

If you are a person with a disability who needs any accommodation in order to participate in a court proceeding, you are entitled, at no cost to you, to the provision of certain assistance. Please contact Brooke Dean, Operations Division Manager for the 20th Judicial Circuit whose office is located at the Lee County Justice Center, 1700 Monroe St., Fort Myers, FL 33901, and whose telephone number is (239) 533-1771, at least 7 days before your scheduled court appearance, or immediately upon receiving this notification if the time before the scheduled appearance is less than 7 days; if you are hearing or voice impaired, call 711.

WITNESS my hand and seal of this Court on the day of 06/11/2024

KEVIN C. KARNES CLERK OF THE CIRCUIT COURT LEE COUNTY, FLORIDA (SEAL) By: N. Watson Deputy Clerk JORDAN A. ZEPPETELLO, Plaintiff’s attorney, P. O. Box 165028, Columbus, OH 43216-5028 June 14, 21, 2024 24-02424L

NOTICE OF FORFEITURE PROCEEDINGS IN THE CIRCUIT COURT OF THE TWENTIETH JUDICIAL CIRCUIT IN AND FOR LEE COUNTY, FLORIDA CIVIL ACTION

Case No.: 24-CA-001374

Judge Alane C. Laboda In RE: FORFEITURE OF Seven Thousand, Five Hundred- and Seventy-Two-Dollars ($7,572.00) in U.S. Currency

Claimant(s): CHARLES LEANDERS DAVIS JR.

TO: Charles Leanders Davis, Jr. AND TO: All others whose names are presently unknown but may claim an interest in the Seven Thousand, Five Hundred- and Seventy-Two-Dollars ($7,572.00) in U.S. Currency described herein.

YOU ARE HEREBY NOTIFIED that the City of Fort Myers, Florida has initiated forfeiture proceedings against the above-described Seven Thousand, Five Hundred- and Seventy-Two-Dollars ($7,572.00) in U.S. Currency, which was seized by the Fort Myers Police Department on or about February 3, 2024, in Fort Myers, Lee County, pursuant to the Florida Contraband Forfeiture Act. The City of Fort Myers Police Department is currently holding the seized property. Any persons or entities claiming an ownership or perfected security interest in the Seven Thousand, Five Hundred- and Seventy-Two-Dollars ($7,572.00) in U.S. Currency described above shall make such interest known by filing such claim with the Court in

NOTICE OF ACTION IN THE CIRCUIT COURT OF THE TWENTIETH JUDICIAL CIRCUIT IN AND FOR LEE COUNTY, FLORIDA CIVIL DIVISION CASE NO.: 24-CA-3719 IN RE: FORFEITURE OF 2014 Dodge Ram 3500 VIN: 3C63RPJL8EG278515 TO ALL PERSONS OR ENTITIES HAVING OR CLAIMING TO HAVE ANY RIGHT, TITLE OR INTEREST IN THE PROPERTY HEREIN DESCRIBED: YOU ARE NOTIFIED that an action pursuant to the Florida Contraband Forfeiture Act has been filed by PETITIONER, CARMINE MARCENO, as Sheriff of Lee County in the Circuit Court of the Twentieth Judicial Circuit in and for Lee County, Florida requesting that the 2014 Dodge Ram 3500; VIN 3C63RPJL8EG278515 be forfeited to the Petitioner, SHERIFF CARMINE MARCENO, for the use and benefit of the LEE COUNTY SHERIFF’S OFFICE. You are further advised that the LEE COUNTY SHERIFF’S OFFICE is presently holding the above described 2014 Dodge Ram 3500, VIN 3C63RPJ-

L8EG278515. You are required to file a copy of your written defenses, if any, to said forfeiture action on Kimberly A. Sams, Esq., Petitioner’s Counsel, whose address is Lee County Sheriff’s Department, Legal Division, 14750 Six Mile Cypress Parkway, Fort Myers, Florida 33912, by mail within 30 days of first publication, and file the original with Clerk of the Court either before service on Petitioner’s attorney or immediately thereafter; otherwise a default will be entered against you for the relief demanded in the Complaint. Dated this 10th day of June, 2024. Kevin C. Karnes Clerk of Court (SEAL) By: K. Harris Deputy Clerk Kimberly A. Sams, Esq. LEE COUNTY SHERIFF’S OFFICE LEGAL DIVISION 14750 Six Mile Cypress Parkway Fort Myers, Florida 33912 (239) 477-1163 E-mail: KSams@SheriffLeeFL.org Secondary: e.service@SheriffLeeFL.org By: Kimberly A. Sams Florida Bar No.: 116456 June 14, 21, 2024 24-02395L

NOTICE OF ACTION AS TO COUNT(S) I AGAINST DEFENDANT BRUNO DI FELICE IN THE CIRCUIT COURT OF THE TWENTIETH JUDICIAL CIRCUIT, IN AND FOR LEE COUNTY, FLORIDA Case No.: 24-CA-000670 Division: Civil Judge Alane C. Laboda Coconut Plantation Condominium Association, Inc., a corporation not-for-profit under the laws of the State of Florida Plaintiff, vs. BRUNO DI FELICE, et al. Defendants. To: BRUNO DI FELICE 7131 ELMWOOD DRIVE GRAND BLANC, MI 48439

UNITED STATES OF AMERICA and all parties claiming interest by, through, under or against Defendant(s) BRUNO DI FELICE, and all parties having or claiming to have any right, title or interest in the property herein described; YOU ARE NOTIFIED that an action to enforce a lien on the following described property in Lee County, Florida: Unit 5370L, Week 1, Annual Coconut Plantation, a Condominium (the “Condominium”), according to the Declaration of Condominium thereof as recorded in Official Records Book 4033, Page 3816, Public Records of Lee County, Florida, and all exhibits attached thereto, and any amendments thereof (the “Declaration”).

Contract No.: 09-5109 has been filed against you; and you are

required to serve a copy of your written defenses, if any, to it on JORDAN A. ZEPPETELLO, Plaintiff’s attorney, P. O. Box 165028, Columbus, OH 432165028, within thirty (30) days after the first publication of this Notice and file the original with the Clerk of this Court either before service on Plaintiff’s attorney or immediately thereafter; otherwise a default will be entered against you for the relief demanded in the Complaint.

NOTICE TO PERSONS WITH DISABILITIES

If you are a person with a disability who needs any accommodation in order to participate in a court proceeding, you are entitled, at no cost to you, to the provision of certain assistance. Please contact Brooke Dean, Operations Division Manager for the 20th Judicial Circuit whose office is located at the Lee County Justice Center, 1700 Monroe St., Fort Myers, FL 33901, and whose telephone number is (239) 533-1771, at least 7 days before your scheduled court appearance, or immediately upon receiving this notification if the time before the scheduled appearance is less than 7 days; if you are hearing or voice impaired, call 711. WITNESS my hand and seal of this Court on the day of 06/11/2024 KEVIN C. KARNES CLERK OF THE CIRCUIT COURT LEE COUNTY, FLORIDA (SEAL) By: N. Watson Deputy Clerk JORDAN A. ZEPPETELLO, Plaintiff’s attorney, P. O. Box 165028, Columbus, OH 43216-5028 June 14, 21, 2024 24-02425L

the above-styled cause and by sending a copy of such claim to the address below within twenty (20) days. In accordance with Florida Statue 932.704(6) (a), the seizing agency shall publish the notice of the forfeiture complaint for 2 consecutive weeks on a publicly accessible website or if published in print, once a week for 2 consecutive weeks in a newspaper qualified to publish legal notices under chapter 50 in the county where the seizure occurred. These proceedings will be advertised through Business Observer. If no claim is filed, a default may be entered for the relief demanded in the petition and a request will be made for final judgment of forfeiture.

Office of the City Attorney

Post Office Drawer 2217

Fort Myers, Florida 33902

CITY OF FORT MYERS

Counsel for Petitioner

City of Fort Myers

By: /s/ Amanda Browning-Richardson

Grant W. Alley, City Attorney

Florida Bar No. 0967386

Amanda B. Browning-Richardson, Assistant City Attorney

Florida Bar No. 1010920

City of Fort Myers

Post Office Drawer 2217

Fort Myers, Florida 33902

Tel: (239) 321-7640

Fax (239) 344-0050

Email: galley@cityftmyers.com

Email: arichardson@cityftmyers.com

Email: sveale@cityftmyers.com

Email: LegalService@cityftmyers.com (Service Only)

June 14, 21, 2024 24-02390L

NOTICE OF ACTION IN THE CIRCUIT COURT OF THE TWENTIETH JUDICIAL CIRCUIT IN AND FOR LEE COUNTY, FLORIDA CIVIL DIVISION CASE NO.: 24-CA-001144 AUDREY EARLE, CLYDE W. EARLE, and PAMELA J. MARSH, Plaintiff, vs. PAMELA J. EARLE, deceased, THE UNKNOWN HEIRS OF PAMELA J. EARLE, LEONARD RICHARD ST. ONGE, JR., and ALL OTHER UNKNOWN PARTIES, Defendants. TO: Defendants, PAMELA J. EARLE, deceased, THE UNKNOWN HEIRS OF PAMELA J. EARLE, and ALL OTHER UNKNOWN PARTIES,, if alive, and if dead, their unknown spouse(s), heir(s), devisee(s), grantee(s), judgment creditor(s), and all other parties claiming by, through, under, or against Defendants; the unknown spouse, heirs, devisees, grantees, and judgment creditors of Defendants, deceased, and all other parties claiming by, through, under, or against Defendants; and all unknown natural persons if alive, and if dead or not known to be dead or alive, their several and respective unknown spouses, heirs, devisees, grantees, and judgment creditors, or other parties claiming by, through, or under those unknown natural persons; and the several and respective unknown assigns, successors in interest, trustees, or any other person claiming by, through, under, or against any corporation or other legal entity named as a Defendant; and all claimants, persons or parties, natural or corporate, or whose exact legal status is unknown, claiming under any of the above-named or described Defendants or parties or claiming to have any right, title, or interest in the subject property described in Plaintiffs, AUDREY EARLE, CLYDE W. EARLE, and PAMELA J. MARSH, Complaint to

Quiet Title to Real Property (“Complaint”) filed in this action: YOU ARE NOTIFIED that an action to quiet title to the following property in Lee County, Florida is located at 3400 13th Street West, Lehigh Acres, Florida 33971, and is more particularly described as follows: LOT 10, BLOCK 20, UNIT 14, NORTHWEST ¼ OF SECTION 26, TOWNSHIP 44 SOUTH, RANGE 26 EAST, LEHIGH ACRES, ACCORDING TO THE MAP OR PLAT THEREOF, AS RECORDED IN PLAT BOOK 15, PAGE(S) 1 THROUGH 101, OF THE PUBLIC RECORDS OF LEE COUNTY, FLORIDA, STRAP: 26-44-26-1400020.0100, has been filed against you and you are required to serve a copy of your written defenses, if any, to it on Scott W. Fitzpatrick, Esquire, the Plaintiff’s attorney, whose address is Eggert Fitzpatrick, 811 Cypress Village Blvd., Ruskin, Florida 33573, on or before July 9, 2024, and file the original with the Clerk of this Court either before service on the Plaintiff’ attorney or immediately thereafter; other-

32 JUNE 21 - JUNE 27, 2024 BUSINESS OBSERVER LEE COUNTY
--- ACTIONS ---
SECOND INSERTION SECOND
SECOND INSERTION SECOND INSERTION
INSERTION
wise a default will be entered against you for the relief demanded in the Complaint. Dated
05/30/2024. Kevin C. Karnes CLERK OF CIRCUIT COURT
N. Watson Deputy Clerk EGGERT FITZPATRICK By: /s/ Scott W. Fitzpatrick, B.C.S. Florida Bar No. 0370710 EGGERT FITZPATRICK 811-B Cypress Village Boulevard Ruskin, Florida 33573 (813) 633-3396 - Telephone (813) 634-5425 – Telecopier scott@eggfitz.com - Email Attorney for Plaintiffs June 7, 14, 21, 28, 2024 24-02254L THIRD INSERTION
on
(SEAL) By:
SECOND INSERTION

FOURTH INSERTION

NOTICE OF APPLICATION FOR TAX DEED

Section 197.512 F.S.

Tax Deed #:2023002616

NOTICE IS HEREBY GIVEN that Morning Star One LLC the holder of the following certificate(s) has filed said certificate(s) for a tax deed to be issued thereon. The certificate number(s), year(s) of issuance, the description of the property and the name(s) in which it was assessed are as follows:

Certificate Number: 19-011042

Year of Issuance 2019 Description of Property LEHIGH ACRES UNIT 5 BLK 18 DB 254

PG 50 LOT 1 W 1/2 Strap Number 24-44-27-05-00018.001A

Names in which assessed: HUGH M ENGLERT

All of said property being in the County of Lee, State of Florida. Unless such certificate(s) shall be redeemed according to the law the property described in such certificate(s) will be sold to the highest bidder online at www.lee.realtaxdeed.com on 07/23/2024 at 10:00 am, by Kevin C. Karnes, Lee County Clerk of the Circuit Court & Comptroller. May 31; June 7, 14, 21, 2024 24-02160L

FOURTH INSERTION

NOTICE OF APPLICATION FOR TAX DEED

Section 197.512 F.S. Tax Deed #:2023002309

NOTICE IS HEREBY GIVEN that Cape Holdings Enterprises Inc the holder of the following certificate(s) has filed said certificate(s) for a tax deed to be issued thereon. The certificate number(s), year(s) of issuance, the description of the property and the name(s) in which it was assessed are as follows:

Certificate Number: 18-020273 Year of Issuance 2018 Description of Property LEHIGH

ACRES UNIT 12 BLK 69 PB 18 PG 118 LOT 7 Strap Number 2545-27-12-00069.0070

Names in which assessed: HELEN M SHRUM, JOHN J SHRUM

All of said property being in the County of Lee, State of Florida. Unless such certificate(s) shall be redeemed according to the law the property described in such certificate(s) will be sold to the highest bidder online at www.lee.realtaxdeed.com on 07/23/2024 at 10:00 am, by Kevin C. Karnes, Lee County Clerk of the Circuit Court & Comptroller.

May 31; June 7, 14, 21, 2024 24-02158L

FOURTH INSERTION

NOTICE OF APPLICATION FOR TAX DEED

Section 197.512 F.S

Tax Deed #:2024000036

NOTICE IS HEREBY GIVEN that Cape Holdings Enterprises Inc the holder of the following certificate(s) has filed said certificate(s) for a tax deed to be issued thereon. The certificate number(s), year(s) of issuance, the description of the property and the name(s) in which it was assessed are as follows:

Certificate Number: 17-028039 Year of Issuance 2017 Description of Property CAPE CORAL UNIT 38 BLK 2657 PB 16 PG 98 LOTS 30 + 31 Strap Number 0244-23-C2-02657.0300 Names in which assessed: ALVA J. LUND DECLARATION OF TRUST DATED NOVEMBER 28, 1995, AS AMENDED

All of said property being in the County of Lee, State of Florida. Unless such certificate(s) shall be redeemed according to the law the property described in such certificate(s) will be sold to the highest bidder online at www.lee.realtaxdeed.com on 07/23/2024 at 10:00 am, by Kevin C. Karnes, Lee County Clerk of the Circuit Court & Comptroller.

May 31; June 7, 14, 21, 2024 24-02156L

FOURTH INSERTION

NOTICE OF APPLICATION FOR TAX DEED

Section 197.512 F.S. Tax Deed #:2023002269

NOTICE IS HEREBY GIVEN that Buffalo Bill LLC the holder of the following certificate(s) has filed said certificate(s) for a tax deed to be issued thereon. The certificate number(s), year(s) of issuance, the description of the property and the name(s) in which it was assessed are as follows:

Certificate Number: 20-006460

Year of Issuance 2020 Description of Property LEHIGH ACRES UNIT 4 BLK.23 PB 15 PG 67 LOT 13 Strap Number 2344-26-04-00023.0130 Names in which assessed: LINDA L LOWE

All of said property being in the County of Lee, State of Florida. Unless such certificate(s) shall be redeemed according to the law the property described in such certificate(s) will be sold to the highest bidder online at www.lee.realtaxdeed.com on 07/23/2024 at 10:00 am, by Kevin C. Karnes, Lee County Clerk of the Circuit Court & Comptroller. May 31; June 7, 14, 21, 2024 24-02162L

FOURTH INSERTION

NOTICE OF APPLICATION FOR TAX DEED Section 197.512 F.S. Tax Deed #:2023002556 NOTICE IS HEREBY GIVEN that Cape Holdings Enterprises Inc the holder of the following certificate(s) has filed said certificate(s) for a tax deed to be issued thereon. The certificate number(s), year(s) of issuance, the description of the property and the name(s) in which it was assessed are as follows: Certificate Number: 20-003930 Year of Issuance 2020 Description of Property LEHIGH ACRES UNIT 2 BLK.12 PB 15 PG 58 LOT 8 Strap Number 0144-26-02-00012.0080 Names in which assessed: DIANA TETREAULT, ROSA DELAPARTE

All of said property being in the County of Lee, State of Florida. Unless such certificate(s) shall be redeemed according to the law the property described in such certificate(s) will be sold to the highest bidder online at www.lee.realtaxdeed.com on 07/23/2024 at 10:00 am, by Kevin C. Karnes, Lee County Clerk of the Circuit Court & Comptroller.

May 31; June 7, 14, 21, 2024 24-02161L

FOURTH INSERTION

NOTICE OF APPLICATION FOR TAX DEED Section 197.512 F.S. Tax Deed #:2023002307 NOTICE IS HEREBY GIVEN that Cape Holdings Enterprises Inc the holder of the following certificate(s) has filed said certificate(s) for a tax deed to be issued thereon. The certificate number(s), year(s) of issuance, the description of the property and the name(s) in which it was assessed are as follows: Certificate Number: 18-009102 Year of Issuance 2018 Description of Property LEHIGH ACRES UNIT 3 BLK 12 DB 259 PG 121 LOT 24 W 1/2 Strap Number 11-44-27-0300012.024A Names in which assessed: COLLIN J HANNA, ROSE HANNA

All of said property being in the County of Lee, State of Florida. Unless such certificate(s) shall be redeemed according to the law the property described in such certificate(s) will be sold to the highest bidder online at www.lee.realtaxdeed.com on 07/23/2024 at 10:00 am, by Kevin C. Karnes, Lee County Clerk of the Circuit Court & Comptroller. May 31; June 7, 14, 21, 2024 24-02157L

LEE COUNTY

FOURTH INSERTION

NOTICE OF APPLICATION FOR TAX DEED

Section 197.512 F.S. Tax Deed #:2023001669

NOTICE IS HEREBY GIVEN that Buffalo Bill LLC the holder of the following certificate(s) has filed said certificate(s) for a tax deed to be issued thereon. The certificate number(s), year(s) of issuance, the description of the property and the name(s) in which it was assessed are as follows:

Certificate Number: 20-009610

Year of Issuance 2020 Description of Property GREENBRIAR UNIT 16 BLK 78 PB 27 PG 26 LOT 10 Strap Number 04-4427-12-00078.0100

Names in which assessed: WELBY KEY

All of said property being in the County of Lee, State of Florida. Unless such certificate(s) shall be redeemed according to the law the property described in such certificate(s) will be sold to the highest bidder online at www.lee.realtaxdeed.com on 07/23/2024 at 10:00 am, by Kevin C. Karnes, Lee County Clerk of the Circuit Court & Comptroller. May 31; June 7, 14, 21, 2024 24-02164L

FOURTH INSERTION

NOTICE OF APPLICATION FOR TAX DEED Section 197.512 F.S. Tax Deed #:2023002308

NOTICE IS HEREBY GIVEN that Cape Holdings Enterprises Inc the holder of the following certificate(s) has filed said certificate(s) for a tax deed to be issued thereon. The certificate number(s), year(s) of issuance, the description of the property and the name(s) in which it was assessed are as follows: Certificate Number: 20-011158 Year of Issuance 2020 Description of Property LEHIGH ACRES UNIT 2 BLK 5 DB 254 PG 80 LOT 1 E 1/2 Strap Number 14-44-27-02-00005.0010

Names in which assessed: AMERICAN ESTATE AND TRUST

All of said property being in the County of Lee, State of Florida. Unless such certificate(s) shall be redeemed according to the law the property described in such certificate(s) will be sold to the highest bidder online at www.lee.realtaxdeed.com on 07/23/2024 at 10:00 am, by Kevin C. Karnes, Lee County Clerk of the Circuit Court & Comptroller. May 31; June 7, 14, 21, 2024 24-02166L

FOURTH INSERTION

NOTICE OF APPLICATION FOR TAX DEED Section 197.512 F.S. Tax Deed #:2023002270

NOTICE IS HEREBY GIVEN that Buffalo Bill LLC the holder of the following certificate(s) has filed said certificate(s) for a tax deed to be issued thereon. The certificate number(s), year(s) of issuance, the description of the property and the name(s) in which it was assessed are as follows:

Certificate Number: 20-021597 Year of Issuance 2020 Description of Property LEHIGH ACRES UNIT 4 BLK 24 PB 15 PG 134 LOT 1 Strap Number 1445-27-04-00024.0010

Names in which assessed: ESMIE WILLISTON

All of said property being in the County of Lee, State of Florida. Unless such certificate(s) shall be redeemed according to the law the property described in such certificate(s) will be sold to the highest bidder online at www.lee.realtaxdeed.com on 07/23/2024 at 10:00 am, by Kevin C. Karnes, Lee County Clerk of the Circuit Court & Comptroller. May 31; June 7, 14, 21, 2024 24-02167L

FOURTH INSERTION NOTICE OF APPLICATION FOR TAX DEED Section 197.512 F.S. Tax Deed #:2023002300

NOTICE IS HEREBY GIVEN that Cape Holdings Enterprises Inc the holder of the following certificate(s) has filed said certificate(s) for a tax deed to be issued thereon. The certificate number(s), year(s) of issuance, the description of the property and the name(s) in which it was assessed are as follows:

Certificate Number: 20-023116

Year of Issuance 2020 Description of Property LEHIGH ACRES UNIT 4 BLK 27 PB 20 PG 24 LOT 28 Strap Number 23-45-27-04-00027.0280

Names in which assessed:

ARMANDO RODRIGUEZ, JUDITH RODRIGUEZ

All of said property being in the County of Lee, State of Florida. Unless such certificate(s) shall be redeemed according to the law the property described in such certificate(s) will be sold to the highest bidder online at www.lee.realtaxdeed.com on 07/23/2024 at 10:00 am, by Kevin C. Karnes, Lee County Clerk of the Circuit Court & Comptroller.

May 31; June 7, 14, 21, 2024 24-02168L

FOURTH INSERTION

FOURTH INSERTION

NOTICE OF APPLICATION FOR TAX DEED

Section 197.512 F.S. Tax Deed #:2023002310

NOTICE IS HEREBY GIVEN that Cape Holdings Enterprises Inc the holder of the following certificate(s) has filed said certificate(s) for a tax deed to be issued thereon. The certificate number(s), year(s) of issuance, the description of the property and the name(s) in which it was assessed are as follows:

Certificate Number: 18-020656

Year of Issuance 2018 Description of Property LEHIGH ACRES UNIT 5 BLK 26 PB 18 PG 128 LOT 3 Strap Number 2745-27-05-00026.0030 Names in which assessed: LAANGHECK IMMOBILIERE LLC, LAANGHECK IMMOBILIERE, LLC

All of said property being in the County of Lee, State of Florida. Unless such certificate(s) shall be redeemed according to the law the property described in such certificate(s) will be sold to the highest bidder online at www.lee.realtaxdeed.com on 07/23/2024 at 10:00 am, by Kevin C. Karnes, Lee County Clerk of the Circuit Court & Comptroller. May 31; June 7, 14, 21, 2024 24-02159L

NOTICE OF APPLICATION FOR TAX DEED

Section 197.512 F.S. Tax Deed #:2023002301

NOTICE IS HEREBY GIVEN that Cape Holdings Enterprises Inc the holder of the following certificate(s) has filed said certificate(s) for a tax deed to be issued thereon. The certificate number(s), year(s) of issuance, the description of the property and the name(s) in which it was assessed are as follows:

Certificate Number: 20-023448

Year of Issuance 2020 Description of Property LEHIGH ACRES UNIT 3 BLK 33 PB 18 PG 93 LOT 2 Strap Number 2445-27-03-00033.0020 Names in which assessed: STAGE COACH PROPERTIES, LLC, STAGECOACH PROPERTIES LLC

All of said property being in the County of Lee, State of Florida. Unless such certificate(s) shall be redeemed according to the law the property described in such certificate(s) will be sold to the highest bidder online at www.lee.realtaxdeed.com on 07/23/2024 at 10:00 am, by Kevin C. Karnes, Lee County Clerk of the Circuit Court & Comptroller. May 31; June 7, 14, 21, 2024 24-02169L

FOURTH INSERTION

NOTICE OF APPLICATION FOR TAX DEED

Section 197.512 F.S.

Tax Deed #:2023002615

NOTICE IS HEREBY GIVEN that Morning Star One LLC the holder of the following certificate(s) has filed said certificate(s) for a tax deed to be issued thereon. The certificate number(s), year(s) of issuance, the description of the property and the name(s) in which it was assessed are as follows: Certificate Number: 21-004862

Year of Issuance 2021 Description of Property LEHIGH ACRES UNIT 3 BLK.24 PB 15 PG 68 LOT 6 Strap Number 2444-26-03-00024.0060

Names in which assessed: HAO ZHANG

All of said property being in the County of Lee, State of Florida. Unless such certificate(s) shall be redeemed according to the law the property described in such certificate(s) will be sold to the highest bidder online at www.lee.realtaxdeed.com on 07/23/2024 at 10:00 am, by Kevin C. Karnes, Lee County Clerk of the Circuit Court & Comptroller. May 31; June 7, 14, 21, 2024 24-02170L

FOURTH INSERTION

NOTICE OF APPLICATION FOR TAX DEED Section 197.512 F.S. Tax Deed #:2023002296

NOTICE IS HEREBY GIVEN that Morning Star One LLC the holder of the following certificate(s) has filed said certificate(s) for a tax deed to be issued thereon. The certificate number(s), year(s) of issuance, the description of the property and the name(s) in which it was assessed are as follows: Certificate Number: 21-008312

Year of Issuance 2021 Description of Property LEHIGH ACRES UNIT 11 BLK.42 DB 254 PG 85 LOT 21 Strap Number 1344-27-11-00042.0210

Names in which assessed: MILDRED V CURY, MILDRED VIRGINIA CURY

All of said property being in the County of Lee, State of Florida. Unless such certificate(s) shall be redeemed according to the law the property described in such certificate(s) will be sold to the highest bidder online at www.lee.realtaxdeed.com on 07/23/2024 at 10:00 am, by Kevin C. Karnes, Lee County Clerk of the Circuit Court & Comptroller.

May 31; June 7, 14, 21, 2024 24-02173L

FOURTH INSERTION

NOTICE OF APPLICATION FOR TAX DEED Section 197.512 F.S. Tax Deed #:2023002276

NOTICE IS HEREBY GIVEN that TEN EAGLES LLC the holder of the following certificate(s) has filed said certificate(s) for a tax deed to be issued thereon. The certificate number(s), year(s) of issuance, the description of the property and the name(s) in which it was assessed are as follows:

Certificate Number: 21-009104

Year of Issuance 2021 Description of Property LEHIGH

ACRES UNIT 10 BLK 38 DB 252 PG 456 LOT 17 Strap Number 18-44-27-10-00038.0170 Names in which assessed:

ALBRECHT BERND SELBERT, ANNA MARIA SELBERT, DOROTHY SELBERT

All of said property being in the County of Lee, State of Florida. Unless such certificate(s) shall be redeemed according to the law the property described in such certificate(s) will be sold to the highest bidder online at www.lee.realtaxdeed.com on 07/23/2024 at 10:00 am, by Kevin C. Karnes, Lee County Clerk of the Circuit Court & Comptroller. May 31; June 7, 14, 21, 2024 24-02178L

FOURTH INSERTION NOTICE OF APPLICATION FOR TAX DEED Section 197.512 F.S. Tax Deed #:2023002295 NOTICE IS HEREBY GIVEN that Morning Star One LLC the holder of the following certificate(s) has filed said certificate(s) for a tax deed to be issued thereon. The certificate number(s), year(s) of issuance, the description of the property and the name(s) in which it was assessed are as follows: Certificate Number: 21-008861 Year of Issuance 2021 Description of Property LEHIGH ACRES UNIT 5 BLK 19 DB 252 PG 451 LOT 18 Strap Number 17-44-27-05-00019.0180 Names in which assessed: KIM GROSE All of said property being in the County of Lee, State of Florida. Unless such certificate(s) shall be redeemed according to the law the property described in such certificate(s) will be sold to the highest bidder online at www.lee.realtaxdeed.com on 07/23/2024 at 10:00 am, by Kevin C. Karnes, Lee County Clerk of the Circuit Court & Comptroller. May 31; June 7, 14, 21, 2024 24-02177L

FOURTH INSERTION

NOTICE OF APPLICATION FOR TAX DEED Section 197.512 F.S. Tax Deed #:2023002298 NOTICE IS HEREBY GIVEN that Morning Star One LLC the holder of the following certificate(s) has filed said certificate(s) for a tax deed to be issued thereon. The certificate number(s), year(s) of issuance, the description of the property and the name(s) in which it was assessed are as follows: Certificate Number: 21-008374 Year of Issuance 2021 Description of Property LEHIGH ACRES UNIT 3 BLK 9 DB 254 PG 80 LOT 22 Strap

ing to the law the property described in such certificate(s) will be sold to the highest bidder online at www.lee.realtaxdeed.com on 07/23/2024 at 10:00 am, by Kevin C. Karnes, Lee County Clerk of the Circuit Court & Comptroller. May 31; June 7, 14, 21, 2024 24-02174L

FOURTH INSERTION

NOTICE OF APPLICATION FOR TAX DEED Section 197.512 F.S. Tax Deed #:2023002589

NOTICE IS HEREBY GIVEN that Morning Star One LLC the holder of the following certificate(s) has filed said certificate(s) for a tax deed to be issued thereon. The certificate number(s), year(s) of issuance, the description of the property and the name(s) in which it was assessed are as follows: Certificate Number: 21-009109 Year of Issuance 2021 Description of Property LEHIGH ACRES UNIT 10 REPLT BLK.39 DB 263 PG 165 LOT 23 Strap Number 18-44-27-1000039.0230 Names in which assessed: ANDREAS GUERINI, BARBARA GUERINI All of said property being in the County of Lee, State of Florida. Unless such certificate(s) shall be redeemed according to the law the property described in such certificate(s) will be sold to the highest bidder online at www.lee.realtaxdeed.com on 07/23/2024 at 10:00 am, by Kevin C. Karnes, Lee County Clerk of the

NOTICE IS HEREBY

33 JUNE 21 - JUNE 27, 2024 BusinessObserverFL.com
--- TAX DEEDS ---
Number 1444-27-03-00009.0220 Names in which assessed: J FERA, JOSEPH FERA, PIETRINA FERA All of said property being in the County of Lee, State of Florida. Unless such certificate(s) shall be redeemed accord-
Circuit Court
& Comptroller. May 31; June 7, 14, 21, 2024 24-02179L FOURTH INSERTION NOTICE OF APPLICATION FOR TAX DEED Section 197.512 F.S. Tax Deed #:2023002177
GIVEN that Cape Holdings Enterprises Inc the holder of the following certificate(s) has filed said certificate(s) for a tax deed to be issued thereon. The certificate number(s), year(s) of issuance, the description of the property and the name(s) in which it was
Number
TRUST U/A/D FEBRUARY 27, 2012 All of said property being in the County of Lee, State of Florida. Unless such certificate(s) shall be redeemed according to the law the property described in such certificate(s) will be sold to the highest bidder online at www.lee.realtaxdeed.com on 07/23/2024 at 10:00 am, by Kevin C. Karnes, Lee County Clerk of the Circuit Court & Comptroller. May 31; June 7, 14, 21, 2024 24-02163L FOURTH INSERTION NOTICE OF APPLICATION FOR TAX DEED Section 197.512 F.S. Tax Deed #:2023002284 NOTICE IS HEREBY GIVEN that TEN EAGLES LLC the holder of the following certificate(s) has filed said certificate(s) for a tax deed to be issued thereon. The certificate number(s), year(s) of issuance, the description of the property and the name(s) in which it was assessed are as follows: Certificate Number: 21-009243 Year of Issuance 2021 Description of Property LEHIGH ACRES UNIT 9 BLK 35 DB 252 PG 234 LOT 10 Strap Number 19-44-27-09-00035.0100 Names in which assessed: DALEY LEE COUNTY REALTY TRUST UNDER DECLARATION OF TRUST DATED DECEMBER 28, 2012, DAYLEY LEE COUNTY REALTY TRUST, MARY ANN MOLYNEAUX All of said property being in the County of Lee, State of Florida. Unless such certificate(s) shall be redeemed according to the law the property described in such certificate(s) will be sold to the highest bidder online at www.lee.realtaxdeed.com on 07/23/2024 at 10:00 am, by Kevin C. Karnes, Lee County Clerk of the Circuit Court & Comptroller. May 31; June 7, 14, 21, 2024 24-02185L FOURTH INSERTION NOTICE OF APPLICATION FOR TAX DEED Section 197.512 F.S. Tax Deed #:2023002281 NOTICE IS HEREBY GIVEN that TEN EAGLES LLC the holder of the following certificate(s) has filed said certificate(s) for a tax deed to be issued thereon. The certificate number(s), year(s) of issuance, the description of the property and the name(s) in which it was assessed are as follows: Certificate Number: 21-009140 Year of Issuance 2021 Description of Property LEHIGH ACRES UNIT 1 BLK 2 DB 252 PG 234 LOT 6 Strap Number 19-44-27-01-00002.0060 Names in which assessed: DALEY LEE COUNTY REALTY TRUST, DALEY LEE COUNTY REALTY TRUST UNDER DECLARATION OF TRUST DATED DECEMBER 28, 2012, DALEY LEE COUNTY REALTY TRUST UNDER THE DECLARATION OF TRUST DATED DECEMBER 28, 2012 All of said property being in the County of Lee, State of Florida. Unless such certificate(s) shall be redeemed according to the law the property described in such certificate(s) will be sold to the highest bidder online at www.lee.realtaxdeed.com on 07/23/2024 at 10:00 am, by Kevin C. Karnes, Lee County Clerk of the Circuit Court & Comptroller. May 31; June 7, 14, 21, 2024 24-02180L
assessed are as follows: Certificate Number: 20-007988 Year of Issuance 2020 Description of Property LEHIGH ACRES UNIT 4 BLK.23 PB 15 PG 100 LOT 6 LESS SUBSURFACE RIGHTS ASSESSED UNDER 33-44-26-99-00023.0060 AS DESC IN OR 4516 PG 2118 Strap
33-44-26-04-00023.0060 Names in which assessed: TIMIOS PENSION SCHEME TRUST, VERTU RETIREMENT BENEFIT SCHEME, A PENSION

FOURTH INSERTION

NOTICE OF APPLICATION FOR TAX DEED

Section 197.512 F.S.

Tax Deed #:2023002282

NOTICE IS HEREBY GIVEN that TEN EAGLES LLC the holder of the following certificate(s) has filed said certificate(s) for a tax deed to be issued thereon. The certificate number(s), year(s) of issuance, the description of the property and the name(s) in which it was assessed are as follows:

Certificate Number: 21-009158 Year of Issuance 2021 Description of Property LEHIGH ACRES UNIT 2 BLK 7 PB 15 PG 26 LOT 23 Strap Number 19-4427-02-00007.0230

Names in which assessed: FRANCES G CIACCIO

All of said property being in the County of Lee, State of Florida. Unless such certificate(s) shall be redeemed according to the law the property described in such certificate(s) will be sold to the highest bidder online at www.lee.realtaxdeed.com on 07/23/2024 at 10:00 am, by Kevin C. Karnes, Lee County Clerk of the Circuit Court & Comptroller. May 31; June 7, 14, 21, 2024 24-02183L

FOURTH INSERTION

NOTICE OF APPLICATION FOR TAX DEED Section 197.512 F.S. Tax Deed #:2023002299

NOTICE IS HEREBY GIVEN that Morning Star One LLC the holder of the following certificate(s) has filed said certificate(s) for a tax deed to be issued thereon. The certificate number(s), year(s) of issuance, the description of the property and the name(s) in which it was assessed are as follows:

Certificate Number: 21-008512

Year of Issuance 2021 Description of Property LEHIGH

ACRES UNIT 2 BLK.5 DB 254 PG 75 LOT 24 Strap Number 1544-27-02-00005.0240

Names in which assessed: CAROLYN MORRIS-WALKER, JOYCE MORRIS

All of said property being in the County of Lee, State of Florida. Unless such certificate(s) shall be redeemed according to the law the property described in such certificate(s) will be sold to the highest bidder online at www.lee.realtaxdeed.com on 07/23/2024 at 10:00 am, by Kevin C. Karnes, Lee County Clerk of the Circuit Court & Comptroller. May 31; June 7, 14, 21, 2024 24-02175L

FOURTH INSERTION

NOTICE OF APPLICATION FOR TAX DEED Section 197.512 F.S. Tax Deed #:2023002611 NOTICE IS HEREBY GIVEN that Morning Star One LLC the holder of the following certificate(s) has filed said certificate(s) for a tax deed to be issued thereon. The certificate number(s), year(s) of issuance, the description of the property and the name(s) in which it was assessed are as follows: Certificate Number: 21-004943 Year of Issuance 2021 Description of Property LEHIGH ACRES REPLAT TR A-F UNIT 9 BLK 68 PB 26 PG 135 LOT 5 Strap Number 24-44-26-0900068.0050 Names in which assessed: FAITHFUL DEVELOPMENT SERVICES LLC, FAITHFUL DEVELOPMENT SERVICES, LLC

All of said property being in the County of Lee, State of Florida. Unless such certificate(s) shall be redeemed according to the law the property described in such certificate(s) will be sold to the highest bidder online at www.lee.realtaxdeed.com on 07/23/2024 at 10:00 am, by Kevin C. Karnes, Lee County Clerk of the Circuit Court & Comptroller. May 31; June 7, 14, 21, 2024 24-02171L

FOURTH INSERTION

NOTICE OF APPLICATION FOR TAX DEED

Section 197.512 F.S. Tax Deed #:2023002290

NOTICE IS HEREBY GIVEN that TEN EAGLES LLC the holder of the following certificate(s) has filed said certificate(s) for a tax deed to be issued thereon. The certificate number(s), year(s) of issuance, the description of the property and the name(s) in which it was assessed are as follows:

Certificate Number: 21-009435 Year of Issuance 2021 Description of Property LEHIGH ACRES UNIT 2 BLK.6 DB 254 PG 65 LOT 22 Strap Number 2144-27-02-00006.0220

Names in which assessed: CLARE M BUTTNER

All of said property being in the County of Lee, State of Florida. Unless such certificate(s) shall be redeemed according to the law the property described in such certificate(s) will be sold to the highest bidder online at www.lee.realtaxdeed.com on 07/23/2024 at 10:00 am, by Kevin C. Karnes, Lee County Clerk of the Circuit Court & Comptroller. May 31; June 7, 14, 21, 2024 24-02187L

FOURTH INSERTION

NOTICE OF APPLICATION FOR TAX DEED Section 197.512 F.S. Tax Deed #:2023002294 NOTICE IS HEREBY GIVEN that Morning Star One LLC the holder of the following certificate(s) has filed said certificate(s) for a tax deed to be issued thereon. The certificate number(s), year(s) of issuance, the description of the property and the name(s) in which it was assessed are as follows: Certificate Number: 21-008772 Year of Issuance 2021 Description of Property LEHIGH ACRES UNIT 11 BLK 44 PB 254 PG 70 LOT 17 Strap Number 1644-27-11-00044.0170

Names in which assessed: ELBA KORTRIGHT, KATHERINE KORTRIGHT

All of said property being in the County of Lee, State of Florida. Unless such certificate(s) shall be redeemed according to the law the property described in such certificate(s) will be sold to the highest bidder online at www.lee.realtaxdeed.com on 07/23/2024 at 10:00 am, by Kevin C. Karnes, Lee County Clerk of the Circuit Court & Comptroller. May 31; June 7, 14, 21, 2024 24-02176L

FOURTH INSERTION

NOTICE OF APPLICATION FOR TAX DEED Section 197.512 F.S. Tax Deed #:2023002291 NOTICE IS HEREBY GIVEN that Morning Star One LLC the holder of the following certificate(s) has filed said certificate(s) for a tax deed to be issued thereon. The certificate number(s), year(s) of issuance, the description of the property and the name(s) in which it was assessed are as follows:

Certificate Number: 21-006481 Year of Issuance 2021 Description of Property LEHIGH ACRES UNIT 3 BLK 9 DB 254 PG 100 LOTS 22 + 23 LESS SUBSURFACE RIGHTS ASSESSED UNDER 01-44-27-9903009.0220 AS DESC IN OR 4516 PG 2118 Strap Number 0144-27-03-00009.0220 Names in which assessed: Horn VI LLC

All of said property being in the County of Lee, State of Florida. Unless such certificate(s) shall be redeemed according to the law the property described in such certificate(s) will be sold to the highest bidder online at www.lee.realtaxdeed.com on 07/23/2024 at 10:00 am, by Kevin C. Karnes, Lee County Clerk of the Circuit Court & Comptroller. May 31; June 7, 14, 21, 2024 24-02172L

FOURTH INSERTION

NOTICE OF APPLICATION FOR TAX DEED

Section 197.512 F.S. Tax Deed #:2023002273

NOTICE IS HEREBY GIVEN that TEN EAGLES LLC the holder of the following certificate(s) has filed said certificate(s) for a tax deed to be issued thereon. The certificate number(s), year(s) of issuance, the description of the property and the name(s) in which it was assessed are as follows:

Certificate Number: 21-016193

Year of Issuance 2021 Description of Property MIRROR

LAKES UNIT 1 BLK 3 PB 27 PG

88 LOT 1 Strap Number 18-4527-01-00003.0010

Names in which assessed: SAUTERNES V LLC

All of said property being in the County of Lee, State of Florida. Unless such certificate(s) shall be redeemed according to the law the property described in such certificate(s) will be sold to the highest bidder online at www.lee.realtaxdeed.com on 07/23/2024 at 10:00 am, by Kevin C. Karnes, Lee County Clerk of the Circuit Court & Comptroller. May 31; June 7, 14, 21, 2024 24-02189L

FOURTH INSERTION

NOTICE OF APPLICATION FOR TAX DEED Section 197.512 F.S. Tax Deed #:2023002283

NOTICE IS HEREBY GIVEN that TEN EAGLES LLC the holder of the following certificate(s) has filed said certificate(s) for a tax deed to be issued thereon. The certificate number(s), year(s) of issuance, the description of the property and the name(s) in which it was assessed are as follows: Certificate Number: 21-009219

Year of Issuance 2021 Description of Property LEHIGH ACRES UNIT 7 BLK.27 DB 252 PG 234 LOT 15 Strap Number 19-44-27-07-00027.0150

Names in which assessed:

EUGENE L TURKE, EUGENE LOUIS TURKE

All of said property being in the County of Lee, State of Florida. Unless such certificate(s) shall be redeemed according to the law the property described in such certificate(s) will be sold to the highest bidder online at www.lee.realtaxdeed.com on 07/23/2024 at 10:00 am, by Kevin C. Karnes, Lee County Clerk of the Circuit Court & Comptroller. May 31; June 7, 14, 21, 2024 24-02184L

INSERTION

FOURTH

NOTICE OF APPLICATION FOR TAX DEED Section 197.512 F.S. Tax Deed #:2023002279

NOTICE IS HEREBY GIVEN that TEN EAGLES LLC the holder of the following certificate(s) has filed said certificate(s) for a tax deed to be issued thereon. The certificate number(s), year(s) of issuance, the description of the property and the name(s) in which it was assessed are as follows:

Certificate Number: 21-009145 Year of Issuance 2021 Description of Property LEHIGH ACRES UNIT 1 BLK 3 PB 15 PG 26 LOT 17 Strap Number 19-4427-01-00003.0170 Names in which assessed: DALEY LEE COUNTY REALTY TRUST, DALEY LEE COUNTY REALTY TRUST UNDER DECLARATION OF TRUST DATED DECEMBER 28, 2012

All of said property being in the County of Lee, State of Florida. Unless such certificate(s) shall be redeemed according to the law the property described in such certificate(s) will be sold to the highest bidder online at www.lee.realtaxdeed.com on 07/23/2024 at 10:00 am, by Kevin C. Karnes, Lee County Clerk of the Circuit Court & Comptroller. May 31; June 7, 14, 21, 2024 24-02181L

FOURTH INSERTION

NOTICE OF APPLICATION FOR TAX DEED Section 197.512 F.S. Tax Deed #:2023002289

NOTICE IS HEREBY GIVEN that TEN EAGLES LLC the holder of the following certificate(s) has filed said certificate(s) for a tax deed to be issued thereon. The certificate number(s), year(s) of issuance, the description of the property and the name(s) in which it was assessed are as follows:

Certificate Number: 21-016432

Year of Issuance 2021 Description of Property MIRROR LAKES UNIT 66 BLK 258 PB 27 PG 153 LOT 20 Strap Number 20-45-27-66-00258.0200

Names in which assessed: NANCY GEE

All of said property being in the County of Lee, State of Florida. Unless such certificate(s) shall be redeemed according to the law the property described in such certificate(s) will be sold to the highest bidder online at www.lee.realtaxdeed.com on 07/23/2024 at 10:00 am, by Kevin C. Karnes, Lee County Clerk of the Circuit Court & Comptroller. May 31; June 7, 14, 21, 2024 24-02193L

FOURTH INSERTION

NOTICE OF APPLICATION FOR TAX DEED Section 197.512 F.S. Tax Deed #:2023002612

NOTICE IS HEREBY GIVEN that Morning Star One LLC the holder of the following certificate(s) has filed said certificate(s) for a tax deed to be issued thereon. The certificate number(s), year(s) of issuance, the description of the property and the name(s) in which it was assessed are as follows:

Certificate Number: 21-009900

Year of Issuance 2021 Description of Property LEHIGH

ACRES UNIT 7 BLK.27 DB 254 PG 50 LOT 21 Strap Number 2444-27-07-00027.0210

Names in which assessed:

JOAN MARSTON, KAREN RITTER, NICHOLAS J BLOIS

All of said property being in the County of Lee, State of Florida. Unless such certificate(s) shall be redeemed according to the law the property described in such certificate(s) will be sold to the highest bidder online at www.lee.realtaxdeed.com on 07/23/2024 at 10:00 am, by Kevin C. Karnes, Lee County Clerk of the Circuit Court & Comptroller. May 31; June 7, 14, 21, 2024 24-02188L

FOURTH INSERTION

NOTICE OF APPLICATION FOR TAX DEED Section 197.512 F.S. Tax Deed #:2023002280

NOTICE IS HEREBY GIVEN that TEN EAGLES LLC the holder of the following certificate(s) has filed said certificate(s) for a tax deed to be issued thereon. The certificate number(s), year(s) of issuance, the description of the property and the name(s) in which it was assessed are as follows:

Certificate Number: 21-009153 Year of Issuance 2021 Description of Property LEHIGH ACRES UNIT 2 BLK 7 PB 15 PG 26 LOT 4 Strap Number 19-4427-02-00007.0040 Names in which assessed: DALEY LEE COUNTY REALTY TRUST, DALEY LEE COUNTY REALTY TRUST UNDER THE DECLARATION OF TRUST DATED DECEMBER 28, 2012 All of said property being in the County of Lee, State of Florida. Unless such certificate(s) shall be redeemed according to the law the property described in such certificate(s) will be sold to the highest bidder online at www.lee.realtaxdeed.com on 07/23/2024 at 10:00 am, by Kevin C. Karnes, Lee County Clerk of the Circuit Court & Comptroller. May 31; June 7, 14, 21, 2024 24-02182L

FOURTH INSERTION

NOTICE OF APPLICATION FOR TAX DEED

Section 197.512 F.S.

Tax Deed #:2023002285

NOTICE IS HEREBY GIVEN that TEN EAGLES LLC the holder of the following certificate(s) has filed said certificate(s) for a tax deed to be issued thereon. The certificate number(s), year(s) of issuance, the description of the property and the name(s) in which it was assessed are as follows:

Certificate Number: 21-023392

Year of Issuance 2021 Description of Property CAPE CORAL UNIT 85 BLK 5657 PB 24 PG 54 LOTS 27 + 28 Strap Number 2043-24-C2-05657.0270 Names in which assessed: SLH MANAGEMENT, LLC All of said property being in the County of Lee, State of Florida. Unless such certificate(s) shall be redeemed according to the law the property described in such certificate(s) will be sold to the highest bidder online at www.lee.realtaxdeed.com on 07/23/2024 at 10:00 am, by Kevin C. Karnes, Lee County Clerk of the Circuit Court & Comptroller. May 31; June 7, 14, 21, 2024 24-02196L

FOURTH INSERTION NOTICE OF APPLICATION FOR TAX DEED Section 197.512 F.S. Tax Deed #:2023002274

NOTICE IS HEREBY GIVEN that TEN EAGLES LLC the holder of the following certificate(s) has filed said certificate(s) for a tax deed to be issued thereon. The certificate number(s), year(s) of issuance, the description of the property and the name(s) in which it was assessed are as follows: Certificate Number: 21-016201

Year of Issuance 2021 Description of Property MIRROR LAKES UNIT 16 BLK 50 PB 27 PG 103 LOT 12 Strap Number 18-45-27-16-00050.0120

Names in which assessed: LOYSE R BOYKINS, MARY L BOYKINS

All of said property being in the County of Lee, State of Florida. Unless such certificate(s) shall be redeemed according to the law the property described in such certificate(s) will be sold to the highest bidder online at www.lee.realtaxdeed.com on 07/23/2024 at 10:00 am, by Kevin C. Karnes, Lee County Clerk of the Circuit Court & Comptroller.

May 31; June 7, 14, 21, 2024 24-02190L

FOURTH INSERTION

NOTICE OF APPLICATION FOR TAX DEED Section 197.512 F.S.

Tax Deed #:2023002286

NOTICE IS HEREBY GIVEN that TEN EAGLES LLC the holder of the following certificate(s) has filed said certificate(s) for a tax deed to be issued thereon. The certificate number(s), year(s) of issuance, the description of the property and the name(s) in which it was assessed are as follows: Certificate Number: 21-023420 Year of Issuance 2021 Description of Property CAPE CORAL UNIT 85 BLK 5671 PB 24 PG 52 LOTS 21 + 22 Strap Number 2043-24-C3-05671.0210 Names in which assessed: BARBARA A ORTMAN, BENJAMIN B BEASLEY, BENJAMIN B BEASLEY,, HELEN MAY BEASLEY, JERE E BEASLEY, TIMOTHY A BEASLEY

All of said property being in the County of Lee, State of Florida. Unless such certificate(s) shall be redeemed according to the law the property described in such certificate(s) will be sold to the highest bidder online at www.lee.realtaxdeed.com on 07/23/2024 at 10:00 am, by Kevin C. Karnes, Lee County Clerk of the Circuit Court & Comptroller. May 31; June 7, 14, 21, 2024 24-02197L

FOURTH INSERTION

NOTICE OF APPLICATION FOR TAX DEED

Section 197.512 F.S. Tax Deed #:2023002624

FOURTH INSERTION

NOTICE OF APPLICATION FOR TAX DEED

Section

F.S. Tax Deed

NOTICE IS HEREBY GIVEN that TEN EAGLES LLC the holder of the following certificate(s) has filed said certificate(s) for a tax deed to be issued thereon. The certificate number(s), year(s) of issuance, the description of the property and the name(s) in which it was assessed are as follows: Certificate Number: 21-016206 Year of Issuance 2021 Description of Property MIRROR LAKES UNIT 16 BLK 53 PG 27 PG

45-27-16-00053.0080 Names in which assessed: FINN V HANSEN, SONJA THOMSEN All of said property being in the County of Lee, State of Florida. Unless such certificate(s) shall be redeemed according to the law the property described in such certificate(s) will be sold to the highest bidder online at www.lee.realtaxdeed.com on 07/23/2024 at 10:00 am, by Kevin C. Karnes, Lee County Clerk of the Circuit Court & Comptroller. May 31; June 7, 14, 21, 2024 24-02191L

FOURTH INSERTION NOTICE OF APPLICATION FOR TAX DEED Section 197.512 F.S. Tax Deed #:2023001938 NOTICE IS HEREBY GIVEN that Buffalo Bill LLC the holder of the following certificate(s) has filed said certificate(s) for a tax deed to be issued thereon. The certificate number(s), year(s) of issuance, the description of the property and the name(s) in which it was assessed are as follows: Certificate Number: 20-010118 Year of Issuance 2020 Description of Property GREENBRIAR UNIT 40 BLK 256 PB 27 PG 63 LOT 13 Strap Number 07-44-2709-00256.0130 Names in which assessed: TIMIOS PENSION SCHEME TRUST, TIMIOS PENSION SCHEME, A PENSION TRUST U/A/D SEPTEMBER 28, 2012 All of said property being in the County of Lee, State of Florida. Unless such certificate(s) shall be redeemed according to the law the property described in such certificate(s) will be sold to the highest bidder online at www.lee.realtaxdeed.com on 07/23/2024 at 10:00 am, by Kevin C. Karnes, Lee County Clerk of the Circuit Court & Comptroller. May 31; June 7, 14, 21, 2024 24-02165L FOURTH INSERTION NOTICE OF APPLICATION FOR TAX DEED

34 JUNE 21 - JUNE 27, 2024 BUSINESS OBSERVER LEE COUNTY --- TAX DEEDS ---
197.512
#:2023002277
103 LOT 8 Strap Number 18-
assessed
Property CAPE
Names in which assessed: BIG FLOOR LLC All of said property being in the County of Lee, State of Florida. Unless such certificate(s) shall be redeemed according to the law the property described in such certificate(s) will be sold to the highest bidder online at www.lee.realtaxdeed.com on 07/23/2024 at 10:00 am, by Kevin C. Karnes, Lee County Clerk of the Circuit Court & Comptroller. May 31; June 7, 14, 21, 2024 24-02198L
NOTICE IS HEREBY GIVEN that BEAMIF A LLC the holder of the following certificate(s) has filed said certificate(s) for a tax deed to be issued thereon. The certificate number(s), year(s) of issuance, the description of the property and the name(s) in which it was
are as follows: Certificate Number: 21-024979 Year of Issuance 2021 Description of
CORAL UNIT 55 BLK 3969 PB 19 PG 100 LOTS 25 + 26 Strap Number 08-44-23-C3-03969.0250
EAGLES LLC the holder of the following certificate(s) has filed said certificate(s) for a tax deed to be issued thereon. The certificate number(s), year(s) of issuance, the description of the property and the name(s) in which it was assessed are as follows: Certificate Number: 21-023204 Year of Issuance 2021 Description of Property CAPE CORAL UNIT 84 BLK.5570 PB 24 PG 45 LOTS 37 + 38 Strap Number 19-43-24-C1-05570.0370 Names in which assessed: BEERMAN TRUST, BEERMANN REVOCABLE TRUST AGREEMENT DATED APRIL 4, 2008, FOR THE BENEFIT OF EGON & ELISABETH BEERMANN All of said property being in the County of Lee, State of Florida. Unless such certificate(s) shall be redeemed according to the law the property described in such certificate(s) will be sold to the highest bidder online at www.lee.realtaxdeed.com on 07/23/2024 at 10:00 am, by Kevin C. Karnes, Lee County Clerk of the Circuit Court & Comptroller. May 31; June 7, 14, 21, 2024 24-02195L FOURTH INSERTION NOTICE OF APPLICATION FOR TAX DEED Section 197.512 F.S. Tax Deed #:2023002272 NOTICE IS HEREBY GIVEN that TEN EAGLES LLC the holder of the following certificate(s) has filed said certificate(s) for a tax deed to be issued thereon. The certificate number(s), year(s) of issuance, the description of the property and the name(s) in which it was assessed are as follows: Certificate Number: 21-023170 Year of Issuance 2021 Description of Property CAPE CORAL UNIT 87 BLK 5679 PB 24 PG 73 LOTS 31 + 32 Strap Number 18-43-24-C4-05679.0310 Names in which assessed: JULIAN SAUREZ, JULIAN SUAREZ, ULISES PUENTES All of said property being in the County of Lee, State of Florida. Unless such certificate(s) shall be redeemed according to the law the property described in such certificate(s) will be sold to the highest bidder online at www.lee.realtaxdeed.com on 07/23/2024 at 10:00 am, by Kevin C. Karnes, Lee County Clerk of the Circuit Court & Comptroller. May 31; June 7, 14, 21, 2024 24-02194L FOURTH INSERTION NOTICE OF APPLICATION FOR TAX DEED Section 197.512 F.S. Tax Deed #:2023002288 NOTICE IS HEREBY GIVEN that TEN EAGLES LLC the holder of the following certificate(s) has filed said certificate(s) for a tax deed to be issued thereon. The certificate number(s), year(s) of issuance, the description of the property and the name(s) in which it was assessed are as follows: Certificate Number: 21-009288 Year of Issuance 2021 Description of Property LEHIGH ACRES UNIT 2 BLK.7 DB 252 PG 461 LOT 4 Strap Number 20-44-27-02-00007.0040 Names in which assessed: LOUISE POZEGA, LOUISE POZEGA ESTATE, TAIRN L TONONI ESTATE All of said property being in the County of Lee, State of Florida. Unless such certificate(s) shall be redeemed according to the law the property described in such certificate(s) will be sold to the highest bidder online at www.lee.realtaxdeed.com on 07/23/2024 at 10:00 am, by Kevin C. Karnes, Lee County Clerk of the Circuit Court & Comptroller. May 31; June 7, 14, 21, 2024 24-02186L
Section 197.512 F.S. Tax Deed #:2023002278 NOTICE IS HEREBY GIVEN that TEN

SECOND INSERTION

NOTICE OF APPLICATION

FOR TAX DEED

Section 197.512 F.S.

Tax Deed #:2023002320

NOTICE IS HEREBY GIVEN that Buffalo Bill LLC the holder of the following certificate(s) has filed said certificate(s) for a tax deed to be issued thereon. The certificate number(s), year(s) of issuance, the description of the property and the name(s) in which it was assessed are as follows:

Certificate Number: 20-007019

Year of Issuance 2020 Description of Property LEHIGH ACRES UNIT 8 REPLAT BLK 41 PB 0015 PG 0071 LOT 6 Strap Number 25-44-26-0800041.0060 Names in which assessed: WANEKA GIFFORD

All of said property being in the County of Lee, State of Florida. Unless such certificate(s) shall be redeemed according to the law the property described in such certificate(s) will be sold to the highest bidder online at www.lee.realtaxdeed.com on 08/06/2024 at 10:00 am, by Kevin C. Karnes, Lee County Clerk of the Circuit Court & Comptroller. Jun. 14, 21, 28; Jul. 5, 2024 24-02339L

SECOND INSERTION

NOTICE OF APPLICATION FOR TAX DEED

Section 197.512 F.S.

Tax Deed #:2023002314 NOTICE IS HEREBY GIVEN that Buffalo Bill LLC the holder of the following certificate(s) has filed said certificate(s) for a tax deed to be issued thereon.

The certificate number(s), year(s) of issuance, the description of the property and the name(s) in which it was assessed are as follows:

Certificate Number: 20-020511 Year of Issuance 2020 Description of Property LEHIGH ACRES UNIT 14 BLK.81 PB 18 PG 15 LOT 16 Strap Number 1045-27-14-00081.0160 Names in which assessed: ROBERT GONZALEZ

All of said property being in the County of Lee, State of Florida. Unless such certificate(s) shall be redeemed according to the law the property described in such certificate(s) will be sold to the highest bidder online at www.lee.realtaxdeed.com on 08/06/2024 at 10:00 am, by Kevin C. Karnes, Lee County Clerk of the Circuit Court & Comptroller. Jun. 14, 21, 28; Jul. 5, 2024 24-02341L

SECOND INSERTION

NOTICE OF APPLICATION FOR TAX DEED

Section 197.512 F.S. Tax Deed #:2023002369 NOTICE IS HEREBY GIVEN that Buffalo Bill LLC the holder of the following certificate(s) has filed said certificate(s) for a tax deed to be issued thereon. The certificate number(s), year(s) of issuance, the description of the property and the name(s) in which it was assessed are as follows:

Certificate Number: 20-007630

Year of Issuance 2020 Description of Property LEHIGH ACRES UNIT 7 BLK 62 PB 15 PG 80 LOT 12 Strap Number 29-44-26-07-00062.0120 Names in which assessed: CAROLINE SPORTIELLO, JEROME SPORTIELLO

All of said property being in the County of Lee, State of Florida. Unless such certificate(s) shall be redeemed according to the law the property described in such certificate(s) will be sold to the highest bidder online at www.lee.realtaxdeed.com on 08/06/2024 at 10:00 am, by Kevin C. Karnes, Lee County Clerk of the Circuit Court & Comptroller. Jun. 14, 21, 28; Jul. 5, 2024 24-02340L

SECOND INSERTION NOTICE OF APPLICATION FOR TAX DEED

Section 197.512 F.S. Tax Deed #:2023002316 NOTICE IS HEREBY GIVEN that Buffalo Bill LLC the holder of the following certificate(s) has filed said certificate(s) for a tax deed to be issued thereon. The certificate number(s), year(s) of issuance, the description of the property and the name(s) in which it was assessed are as follows:

Certificate Number: 20-023306 Year of Issuance 2020 Description of Property LEHIGH ACRES UNIT 16 BLK 55 PB 20 PG 36 LOT 7 Strap Number 2345-27-16-00055.0070 Names in which assessed: LEVENTURES LLC

All of said property being in the County of Lee, State of Florida. Unless such certificate(s) shall be redeemed according to the law the property described in such certificate(s) will be sold to the highest bidder online at www.lee.realtaxdeed.com on 08/06/2024 at 10:00 am, by Kevin C. Karnes, Lee County Clerk of the Circuit Court & Comptroller. Jun. 14, 21, 28; Jul. 5, 2024 24-02342L

SECOND INSERTION

NOTICE OF APPLICATION FOR TAX DEED Section 197.512 F.S. Tax Deed #:2023002330

The certificate number(s), year(s) of issuance, the description of the property and the name(s) in which it was assessed are as follows: Certificate Number: 20-024160 Year of Issuance 2020 Description of Property LEHIGH ACRES UNIT 16 BLK 56 PB 20 PG 53 LOT 28 Strap Number 26-45-27-16-00056.0280 Names in which assessed: SOPHIA S ARTYSH All of said property being in the County of Lee, State of Florida. Unless such certificate(s) shall be redeemed according to the law the property described in such certificate(s) will be sold to the highest bidder online at www.lee.realtaxdeed.com on 08/06/2024 at 10:00 am, by Kevin C. Karnes, Lee County Clerk of the Circuit Court & Comptroller. Jun. 14, 21, 28; Jul. 5, 2024 24-02359L

NOTICE IS HEREBY

NOTICE IS HEREBY GIVEN that Buffalo Bill LLC the holder of the following certificate(s) has filed said certificate(s) for a tax deed to be issued thereon. The certificate number(s), year(s) of issuance, the description of the property and the name(s) in which it was assessed are as follows: Certificate Number: 20-024162 Year of Issuance 2020 Description of Property LEHIGH ACRES UNIT 16 BLK 56 PB 20 PG 53 LOT 32 Strap Number 26-45-27-16-00056.0320

Names in which assessed: JOE K. RAMSEY

All of said property being in the County of Lee, State of Florida. Unless such certificate(s) shall be redeemed according to the law the property described in such certificate(s) will be sold to the highest bidder online at www.lee.realtaxdeed.com on 08/06/2024 at 10:00 am, by Kevin C. Karnes, Lee County Clerk of the Circuit Court & Comptroller. Jun. 14, 21, 28; Jul. 5, 2024 24-02360L

are as follows:

Certificate Number: 20-024037 Year of Issuance 2020 Description of Property LEHIGH ACRES UNIT 9 BLK 28 PB 20 PG 46 LOT 14 Strap Number 26-45-27-09-00028.0140

Names in which assessed: RUTH G OPAUSKI, RUTH G. OPAUSKI

All of said property being in the County of Lee, State of Florida. Unless such certificate(s) shall be redeemed according to the law the property described in such certificate(s) will be sold to the

--- TAX DEEDS ---

SECOND INSERTION

NOTICE OF APPLICATION FOR TAX DEED

Section 197.512 F.S.

Tax Deed #:2023002339

NOTICE IS HEREBY GIVEN that Buffalo Bill LLC the holder of the following certificate(s) has filed said certificate(s) for a tax deed to be issued thereon. The certificate number(s), year(s) of issuance, the description of the property and the name(s) in which it was assessed are as follows:

Certificate Number: 20-023312

Year of Issuance 2020 Description of Property LEHIGH ACRES UNIT 16 BLK 56 PB 20 PG 36 LOT 2 Strap Number 2345-27-16-00056.0020

Names in which assessed: ASBURY PROPERTIES LLC, ASBURY PROPERTIES, L.L.C.

All of said property being in the County of Lee, State of Florida. Unless such certificate(s) shall be redeemed according to the law the property described in such certificate(s) will be sold to the highest bidder online at www.lee.realtaxdeed.com on 08/06/2024 at 10:00 am, by Kevin C. Karnes, Lee County Clerk of the Circuit Court & Comptroller. Jun. 14, 21, 28; Jul. 5, 2024 24-02343L

SECOND INSERTION

NOTICE OF APPLICATION FOR TAX DEED

Section 197.512 F.S.

Tax Deed #:2023002319

NOTICE IS HEREBY GIVEN that Buffalo Bill LLC the holder of the following certificate(s) has filed said certificate(s) for a tax deed to be issued thereon. The certificate number(s), year(s) of issuance, the description of the property and the name(s) in which it was assessed are as follows:

Certificate Number: 20-023616

Year of Issuance 2020 Description of Property LEHIGH ACRES UNIT 9 BLK 86 PB 18 PG 105 LOT 20 Strap Number 24-45-27-09-00086.0200 Names in which assessed:

MARYAM H O S ALHOULAH

All of said property being in the County of Lee, State of Florida. Unless such certificate(s) shall be redeemed according to the law the property described in such certificate(s) will be sold to the highest bidder online at www.lee.realtaxdeed.com on 08/06/2024 at 10:00 am, by Kevin C. Karnes, Lee County Clerk of the Circuit Court & Comptroller. Jun. 14, 21, 28; Jul. 5, 2024 24-02345L

SECOND INSERTION

NOTICE OF APPLICATION FOR TAX DEED Section 197.512 F.S.

Tax Deed #:2023002353

NOTICE IS HEREBY GIVEN that Buffalo Bill LLC the holder of the following certificate(s) has filed said certificate(s) for a tax deed to be issued thereon.

The certificate number(s), year(s) of issuance, the description of the property and the name(s) in which it was assessed are as follows:

Certificate Number: 20-024191

Year of Issuance 2020 Description of Property LEHIGH ACRES UNIT 2 BLK 9 PB 18 PG 125 LOT 3 Strap Number 27-4527-02-00009.0030 Names in which assessed: GLORIA LIMONIUS

All of said property being in the County of Lee, State of Florida. Unless such certificate(s) shall be redeemed according to the law the property described in such certificate(s) will be sold to the highest bidder online at www.lee.realtaxdeed.com on 08/06/2024 at 10:00 am, by Kevin C. Karnes, Lee County Clerk of the Circuit Court & Comptroller. Jun. 14, 21, 28; Jul. 5, 2024 24-02362L

SECOND INSERTION

NOTICE OF APPLICATION FOR TAX DEED Section 197.512 F.S. Tax Deed #:2023002343

NOTICE IS HEREBY GIVEN that Buffalo Bill LLC the holder of the following certificate(s) has filed said certificate(s) for a tax deed to be issued thereon. The certificate number(s), year(s) of issuance, the description of the property and the name(s) in which it was assessed are as follows:

Certificate Number: 20-023737

Year of Issuance 2020 Description of Property LEHIGH ACRES UNIT 7 BLK 42 PB 18 PG 113 LOT 24 Strap Number 25-45-27-07-00042.0240 Names in which assessed: ENVER DAUTOVIC, SEMSA DAUTOVIC

All of said property being in the County of Lee, State of Florida. Unless such certificate(s) shall be redeemed according to the law the property described in such certificate(s) will be sold to the highest bidder online at www.lee.realtaxdeed.com on 08/06/2024 at 10:00 am, by Kevin C. Karnes, Lee County Clerk of the Circuit Court & Comptroller. Jun. 14, 21, 28; Jul. 5, 2024 24-02347L

SECOND INSERTION

NOTICE OF APPLICATION FOR TAX DEED

Section 197.512 F.S. Tax Deed #:2023002342

NOTICE IS HEREBY GIVEN that Buffalo Bill LLC the holder of the following certificate(s) has filed said certificate(s) for a tax deed to be issued thereon. The certificate number(s), year(s) of issuance, the description of the property and the name(s) in which it was assessed are as follows:

Certificate Number: 20-023653

Year of Issuance 2020 Description of Property LEHIGH ACRES UNIT 3 BLK 17 PB 18 PG 109 LOT 4 Strap Number 25-45-27-03-00017.0040

Names in which assessed:

LUCILLE BENSON

All of said property being in the County of Lee, State of Florida. Unless such certificate(s) shall be redeemed according to the law the property described in such certificate(s) will be sold to the highest bidder online at www.lee.realtaxdeed.com on 08/06/2024 at 10:00 am, by Kevin C. Karnes, Lee County Clerk of the Circuit Court & Comptroller. Jun. 14, 21, 28; Jul. 5, 2024 24-02346L

SECOND INSERTION NOTICE OF APPLICATION FOR TAX DEED Section 197.512 F.S. Tax Deed #:2023002355 NOTICE IS HEREBY GIVEN that Buffalo Bill LLC the holder of the following certificate(s) has filed said certificate(s) for a tax deed to be issued thereon. The certificate number(s), year(s) of issuance, the description of the property and the name(s) in which it was assessed are as follows: Certificate Number: 20-024211 Year of Issuance 2020 Description of Property LEHIGH ACRES UNIT 3 BLK 12 PB 18 PG 126 LOT 6 Strap Number 2745-27-03-00012.0060 Names in which assessed: MARTHA C RUFF

All of said property being in the County of Lee, State of Florida. Unless such certificate(s) shall be redeemed according to the law the property described in such certificate(s) will be sold to the highest bidder online at www.lee.realtaxdeed.com on 08/06/2024 at 10:00 am, by Kevin C. Karnes, Lee County Clerk of the Circuit Court & Comptroller. Jun. 14, 21, 28; Jul. 5, 2024 24-02363L

SECOND INSERTION

NOTICE OF APPLICATION FOR TAX DEED

Section 197.512 F.S. Tax Deed #:2023002321

NOTICE IS HEREBY GIVEN that Buffalo Bill LLC the holder of the following certificate(s) has filed said certificate(s) for a tax deed to be issued thereon. The certificate number(s), year(s) of issuance, the description of the property and the name(s) in which it was assessed are as follows:

Certificate Number: 20-023939

Year of Issuance 2020 Description of Property LEHIGH ACRES UNIT 4 BLK.13 PB 20 PG 41 LOT 9 Strap Number 2645-27-04-00013.0090

Names in which assessed: GODFREY D MILLETTE, MARY W BEY

All of said property being in the County of Lee, State of Florida. Unless such certificate(s) shall be redeemed according to the law the property described in such certificate(s) will be sold to the highest bidder online at www.lee.realtaxdeed.com on 08/06/2024 at 10:00 am, by Kevin C. Karnes, Lee County Clerk of the Circuit Court & Comptroller. Jun. 14, 21, 28; Jul. 5, 2024 24-02350L SECOND INSERTION

SECOND INSERTION NOTICE OF APPLICATION FOR TAX DEED Section 197.512 F.S. Tax Deed #:2023002344 NOTICE IS HEREBY GIVEN that Buffalo Bill LLC the holder of the following certificate(s) has filed said certificate(s) for a tax deed to be issued thereon. The certificate number(s), year(s) of issuance, the description of the property and the name(s) in which it was assessed are as follows:

Certificate Number: 20-023890

Year of Issuance 2020 Description of Property LEHIGH ACRES UNIT 1 BLK 1 PB 20 PG 38 LOT 26 Strap Number 26-4527-01-00001.0260

Names in which assessed: ARIF WAJID

All of said property being in the County of Lee, State of Florida. Unless such certificate(s) shall be redeemed according to the law the property described in such certificate(s) will be sold to the highest bidder online at www.lee.realtaxdeed.com on 08/06/2024 at 10:00 am, by Kevin C. Karnes, Lee County Clerk of the Circuit Court & Comptroller. Jun. 14, 21, 28; Jul. 5, 2024 24-02348L

SECOND INSERTION NOTICE OF APPLICATION FOR TAX DEED Section 197.512 F.S. Tax Deed #:2023002354 NOTICE IS HEREBY GIVEN that Buffalo Bill LLC the holder of the following certificate(s) has filed said certificate(s) for a tax deed to be issued thereon.

The certificate number(s), year(s) of issuance, the description of the property and the name(s) in which it was assessed are as follows: Certificate Number: 20-024212 Year of Issuance 2020 Description of Property LEHIGH ACRES UNIT 3 BLK 12 PB 18 PG 126 LOT 7 Strap Number 2745-27-03-00012.0070

Names in which assessed: MARTHA C RUFF

All of said property being in the County of Lee, State of Florida. Unless such certificate(s) shall be redeemed according to the law the property described in such certificate(s) will be sold to the highest bidder online at www.lee.realtaxdeed.com on 08/06/2024 at 10:00 am, by Kevin C. Karnes, Lee County Clerk of the Circuit Court & Comptroller. Jun. 14, 21, 28; Jul. 5, 2024 24-02364L

NOTICE OF APPLICATION FOR TAX DEED Section 197.512 F.S. Tax Deed #:2023002322

NOTICE IS HEREBY GIVEN that Buffalo Bill LLC the holder of the following certificate(s) has filed said certificate(s) for a tax deed to be issued thereon. The certificate number(s), year(s) of issuance, the description of the property and the name(s) in which it was assessed are as follows: Certificate Number: 20-023957

SECOND INSERTION

NOTICE OF APPLICATION FOR TAX DEED

Section 197.512 F.S. Tax Deed #:2023002347

NOTICE IS HEREBY GIVEN that Buffalo Bill LLC the holder of the following certificate(s) has filed said certificate(s) for a tax deed to be issued thereon. The certificate number(s), year(s) of issuance, the description of the property and the name(s) in which it was assessed are as follows: Certificate Number: 20-023913 Year of Issuance 2020 Description of Property LEHIGH ACRES UNIT 2 BLK 8 PB 20 PG 39 LOT 19 Strap Number 26-4527-02-00008.0190 Names in which assessed: FAREBA YAFAR All of said property being in the County of Lee, State of Florida. Unless such certificate(s) shall be redeemed according to the law the property described in such certificate(s) will be sold to the highest bidder online at www.lee.realtaxdeed.com on 08/06/2024 at 10:00 am, by Kevin C. Karnes, Lee County Clerk of the Circuit Court & Comptroller. Jun. 14, 21, 28; Jul. 5, 2024 24-02349L

SECOND INSERTION

NOTICE OF APPLICATION FOR TAX DEED Section 197.512 F.S. Tax Deed #:2023002333 NOTICE IS HEREBY GIVEN that Buffalo Bill LLC the holder of the following certificate(s) has filed said certificate(s) for a tax deed to be issued thereon. The certificate number(s), year(s) of issuance, the description of the property and the name(s) in which it was assessed are as follows: Certificate Number: 20-024216 Year of Issuance 2020 Description of Property LEHIGH ACRES UNIT

ing to the law the property described in such certificate(s) will be sold to the highest bidder online at www.lee.realtaxdeed.com on 08/06/2024 at 10:00 am, by Kevin C. Karnes, Lee County Clerk of the Circuit Court & Comptroller. Jun. 14, 21, 28; Jul. 5, 2024 24-02365L SECOND INSERTION NOTICE OF APPLICATION FOR TAX DEED Section 197.512 F.S. Tax Deed #:2023002380

NOTICE IS HEREBY GIVEN that Cape Holdings Enterprises Inc the holder of the following certificate(s) has filed said certificate(s) for a tax deed to be issued thereon. The certificate number(s), year(s) of issuance, the description of the property and the name(s) in which it was assessed are as follows:

Certificate Number: 17-014648 Year of Issuance 2017 Description of Property LEHIGH ACRES UNIT 1 BLK 7 PB 15 PG 95 LOT 14 Strap Number 03-45-26-01-00007.0140

Names in which assessed: DONALD A RANEY TRUST, DONALD A. RANEY LIVING TRUST

All of said property being in the County of Lee, State of Florida. Unless such certificate(s) shall be redeemed according to the law the property described in such certificate(s) will be sold to the highest bidder online at www.lee.realtaxdeed.com on 08/06/2024 at 10:00 am, by Kevin C. Karnes, Lee County Clerk of the Circuit Court & Comptroller. Jun. 14, 21, 28; Jul. 5, 2024 24-02334L

SECOND INSERTION NOTICE OF APPLICATION FOR TAX DEED Section 197.512 F.S. Tax Deed #:2023002313

NOTICE IS HEREBY GIVEN that Buffalo Bill LLC the holder of the following certificate(s) has filed said certificate(s) for a tax deed to be issued thereon. The certificate number(s), year(s) of issuance, the description of the property and the name(s) in which it was assessed are as follows:

Certificate Number: 20-005190 Year of Issuance 2020 Description of Property LEHIGH ACRES REPLAT SEC 11 BLK 121 PB 26 PG 104 LOT 23 Strap Number 11-44-26-12-00121.0230 Names in which assessed: LEHIGH ACRES INVESTMENTS, LLC All of said property being in the County of Lee, State of Florida. Unless such certificate(s)

36 JUNE 21 - JUNE 27, 2024
OBSERVER LEE
BUSINESS
COUNTY
Year of Issuance 2020 Description of Property LEHIGH ACRES UNIT 5 BLK 7 PB 20 PG 46 LOT 57 Strap Number 26-4527-05-00007.0570 Names in which assessed: ELLEN R PEABODY, ROBERT L PEABODY All of said property being in the County of Lee, State of Florida. Unless such certificate(s) shall be redeemed according to the law the property described in such certificate(s) will be sold to the highest bidder online at www.lee.realtaxdeed.com on 08/06/2024 at 10:00 am, by Kevin C. Karnes, Lee County Clerk of the Circuit Court & Comptroller. Jun. 14, 21, 28; Jul. 5, 2024 24-02351L SECOND INSERTION NOTICE OF APPLICATION FOR TAX DEED Section 197.512 F.S. Tax Deed #:2023002351 NOTICE IS HEREBY GIVEN that Buffalo Bill LLC the holder of the following certificate(s) has filed said certificate(s) for a tax deed to be issued thereon.
BLK
PB 18
126
Number
assessed:
said property being in the County
Lee,
of Florida. Unless such
redeemed
3
13
PG
LOT 17 Strap
27-45-27-03-00013.0170 Names in which
TARPON IV, LLC All of
of
State
certificate(s) shall be
accord-
shall be redeemed according to the law the property described in such certificate(s) will be sold to the highest bidder online at www.lee.realtaxdeed.com on 08/06/2024
am, by Kevin C. Karnes, Lee County Clerk of the Circuit Court & Comptroller. Jun. 14, 21, 28; Jul. 5, 2024 24-02336L SECOND INSERTION NOTICE OF APPLICATION FOR TAX DEED Section 197.512
Tax
at 10:00
F.S.
Deed #:2023002324
GIVEN that Buffalo Bill LLC the holder of the following certificate(s) has filed said certificate(s) for a tax deed to be issued thereon. The certificate number(s), year(s) of issuance, the description of the property and the name(s) in which it was assessed
highest
the Circuit Court
Comptroller. Jun. 14, 21, 28; Jul.
2024
LV10266 LEGAL NOTICE IN THE BUSINESS OBSERVER CALL 941-906-9386 and select the appropriate County name from the menu option or e-mail legal@businessobserverfl.com HOW TO PUBLISH YOUR
bidder online at www.lee.realtaxdeed.com on 08/06/2024 at 10:00 am, by Kevin C. Karnes, Lee County Clerk of
&
5,
24-02355L

will occur as an online auction via www.storagetreasures.com on 7/10/2024 at 10:00AM. Unless stated otherwise the description of the contents are household goods, furnishings and garage essentials.

Lola Childers unit #00381; Amy la Galante unit #02227. This sale may be withdrawn at any time without notice. Certain terms and conditions apply. See manager for details. June 21, 28, 2024 24-01197C

FIRST INSERTION

Notice Under Fictitious Name Law Pursuant to Section 865.09, Florida Statutes

NOTICE IS HEREBY GIVEN that the undersigned, desiring to engage in business under the fictitious name of Soflo Pools located at 15501 Cadiz Ln, in the County of Collier, in the City of Naples, Florida 34110 intends to register the said name with the Division of Corporations of the Department of State, Tallahassee, Florida. Dated at Naples, Florida, this 12th day of June, 2024. SOFLO PROPERTY MANAGEMENT PLUS INC. June 21, 2024 24-01198C

FIRST INSERTION

NOTICE OF PUBLIC SALE:

SWF TOWING INC gives notice that on 07/05/2024 at 08:00 AM the following vehicles(s) may be sold by public sale at 3514 PLOVER AVE NAPLES, FL 34117 to satisfy the lien for the amount owed on each vehicle for any recovery, towing, or storage services charges and administrative fees allowed pursuant to Florida statute 713.78.

1FTPW14526KB22011 2006 FORD June 21, 2024 24-01200C

FIRST INSERTION

NOTICE OF PUBLIC SALE: GETTING HOOKED TOWING gives notice that on 07/05/2024 at 08:00 AM the following vehicles(s) may be sold by public sale at 4344 ENTERPRISE AVE STE 5 NAPLES FL 34104 to satisfy the lien for the amount owed on each vehicle for any recovery, towing, or storage services charges and administrative fees allowed pursuant to Florida statute 713.78.

1FMFU18L33LB87588 2003 FORD

5NPD74LF9HH079770 2017 HYUN June 21, 2024 24-01201C

FIRST INSERTION

PUBLIC SALE

KEITH’S TOWING INC.

903 ALACHUA ST

IMMOKALEE, FLORIDA 34142

(239) 657-5741

AUCTION DATEJULY 08, 2024 @9AM

2019 TOYT 3MYDLBYVXKY516591

2009 FORD 2FMDK38C29BA60543 June 21, 2024 24-01212C

FIRST INSERTION

NOTICE OF PUBLIC SALE: GETTING HOOKED TOWING gives notice that on 07/08/2024 at 08:00 AM the following vehicles(s) may be

by public sale at 4344 ENTERPRISE AVE STE 5 NAPLES FL 34104 to satisfy the lien for the amount owed on each vehicle for any recovery, towing, or storage services charges and administrative fees allowed pursuant to Florida statute 713.78.

2G1WD5E31C1315423 2012 CHEV

3FAHP0KCXCR389004 2012 FORD June 21, 2024 24-01202C

COLLIER COUNTY LEGAL NOTICES

--- PUBLIC SALES ---

FIRST INSERTION

NOTICE OF PUBLIC SALE: GETTING HOOKED TOWING gives notice that on 07/11/2024 at 08:00 AM the following vehicles(s) may be sold by public sale at 4344 ENTERPRISE AVE STE 5 NAPLES FL 34104 to satisfy the lien for the amount owed on each vehicle for any recovery, towing, or storage services charges and administrative fees allowed pursuant to Florida statute 713.78.

JT4JM11DXT0014962 1996 TOYT June 21, 2024 24-01203C

FIRST INSERTION

PUBLIC SALE

Extra Space Storage, on behalf of itself or its affiliates, Life Storage or Storage Express, will hold a public auction to sell personal property described below belonging to those individuals listed below at the location indicated: 14600 Old US 41 Naples, FL 34110 July 11th, 2024 at 10:00am Chong I Devine Boxes, tools, wall art, appliances, furniture, totes and electronics. The auction will be listed and advertised on www.storagetreasures. com. Purchases must be made with cash only and paid at the above referenced facility in order to complete the transaction. Extra Space Storage may refuse any bid and may rescind any purchase up until the winning bidder takes possession of the personal property.

June 21, 28, 2024 24-01210C

FIRST INSERTION

PUBLIC SALE

Extra Space Storage, on behalf of itself or its affiliates, Life Storage or Storage Express, will hold a public auction to sell personal property described below belonging to those individuals listed below at the location indicated: 10550 Goodlette-Frank Rd Naples, FL 34109 July 11, 2024 at 11:30am William Ross Boxes, a chair, coffee table, picture frames The auction will be listed and advertised on www.storagetreasures. com. Purchases must be made with cash only and paid at the above referenced facility in order to complete the transaction. Extra Space Storage may refuse any bid and may rescind any purchase up until the winning bidder takes possession of the personal property.

June 21, 28, 2024 24-01211C

FIRST INSERTION

Notice Under Fictitious Name Law

According to Florida Statute Number 865.09

NOTICE IS HEREBY GIVEN that the undersigned, desiring to engage in business under the Fictitious Name of Fat Pencil Press located at 412 Valerie Way, Unit 202 in the City of Naples, Collier County, FL 34104 intends to register the said name with the Division of Corporations of the Department of State, Tallahassee, Florida. Dated this 17th day of June, 2024. Thomas L. Flint, Jr. June 21, 2024 24-01213C

FIRST INSERTION

Notice Under Fictitious Name Law

According to Florida Statute Number 865.09

NOTICE IS HEREBY GIVEN that the undersigned, desiring to engage in business under the Fictitious Name of QUEEN AGAVE MEXICAN GRILL located at 4100 31ST PL SW in the City of NAPLES, Collier County, FL 34116 intends to register the said name with the Division of Corporations of the Department of State, Tallahassee, Florida. Dated this 14th day of June, 2024. QUEEN AGAVE INC June 21, 2024 24-01214C

FIRST INSERTION

Notice Under Fictitious Name Law

According to Florida Statute Number 865.09

NOTICE IS HEREBY GIVEN that the undersigned, desiring to engage in business under the Fictitious Name of Mr. Rooter Plumbing of Naples located at 14 Swimming Pen Drive Suite 12 in the City of Middleburg, Clay County, FL 32068 intends to register the said name with the Division of Corporations of the Department of State, Tallahassee, Florida.

Dated this 18th day of June, 2024. Alcideworks LLC June 21, 2024 24-01222C

FIRST INSERTION

PUBLIC SALE

Extra Space Storage, on behalf of itself or its affiliates, Life Storage or Storage Express, will hold a public auction to sell personal property described below belonging to those individuals listed below at the location indicated: 571 Airport Pulling Rd N Naples, FL 34104 Auction Date: July 11th, 2024. Time: 10:15 AM

Beth Tikvah Of Naples Books, Boxes, Religious items

Toussaint Cledanor

Household Items

Sharlene Davidson

Household Items

The auction will be listed and advertised on www.storagetreasures. com. Purchases must be made with cash only and paid at the above referenced facility in order to complete the transaction. Extra Space Storage may refuse any bid and may rescind any purchase up until the winning bidder takes possession of the personal property.

June 21, 28, 2024 24-01217C

FIRST INSERTION

PUBLIC SALE

Extra Space Storage will hold a public auction to sell personal property described below belonging to those individuals listed below at the location indicated: 10550 Goodlette-Frank Rd Naples, FL 34109 on 07/25/2024 AT 11:30 AM

Customer Name: Paola Laccetti

Description of items:

Tables, Dishes, industrial oven, Flooring Dough Mixer

The auction will be listed and advertised on www.storagetreasures. com. Purchases must be made with cash only and paid at the above referenced facility in order to complete the transaction. Extra Space Storage may refuse any bid and may rescind any purchase up until the winning bidder takes possession of the personal property.

June 21, 28, 2024 24-01225C

FIRST INSERTION

Notice of public sale:

DIXON TOWING GIVES NOTICE OF FORECLOSURE OF LIEN AND INTENT TO SELL THESE VEHICLES ON 07/05/2024 @ 10AM AT 1730 40 TH TERRACE SW NAPLES FL 341166036, PURSUANT TO SUBSECTION 713.78 OF THE FLORIDA STATUTES. DIXON TOWING RESERVES THE RIGHT TO REJECT ANY /OR ALL BIDS 2012 CHEV VIN# 1GC4K1C87CF219073 June 21, 2024 24-01226C

FIRST INSERTION

Notice Under Fictitious Name Law

According to Florida Statute Number 865.09

NOTICE IS HEREBY GIVEN that the undersigned, desiring to engage in business under the Fictitious Name of Big Mitten Media located at 412 Valerie Way, Unit 202 in the City of Naples, Collier County, FL 34104 intends to register the said name with the Division of Corporations of the Department of State, Tallahassee, Florida. Dated this 18th day of June, 2024. Thomas L. Flint, Jr. June 21, 2024 24-01227C

FIRST INSERTION

NOTICE OF PUBLIC SALE: BAKERS TOWING & EMERGENCY SERVICES, INC. gives notice that on 07/03/2024 at 08:00 AM the following vehicles(s) may be sold by public sale at 2318 J AND C BLVD NAPLES,FL. 34109 to satisfy the lien for the amount owed on each vehicle for any recovery, towing, or storage services charges and administrative fees allowed pursuant to Florida statute 713.78. 1FTEW1EP8MFB35584 2021 FORD June 21, 2024 24-01230C

FIRST INSERTION

Notice Under Fictitious Name Law

According to Florida Statute Number 865.09

NOTICE IS HEREBY GIVEN that the undersigned, desiring to engage in business under the Fictitious Name of TRUCKMANWELSH LLC located at 62 NE 167th St #1134 in the City of North Miami, Collier County, FL 33162 intends to register the said name with the Division of Corporations of the Department of State, Tallahassee, Florida. Dated this 18th day of June, 2024. Len Welsh June 21, 2024 24-01231C

FIRST INSERTION

NOTICE TO CREDITORS (summary administration) IN THE CIRCUIT COURT FOR COLLIER COUNTY, FLORIDA PROBATE DIVISION File No: 11-2024-CP-1736-0001-XX IN RE: ESTATE OF MARY V. POWELL Deceased TO ALL PERSONS HAVING CLAIMS OR DEMANDS AGAINST THE ABOVE ESTATE:

You are hereby notified that an Order of Summary Administration has been entered in the estate of MARY V. POWELL, deceased, File Number 11-2024-CP-1736-0001-XX, by the Circuit Court for Collier County, Florida Probate Division, the address of which is 3315 East Tamiami Trail, Naples, FL 34112; that the decedent’s date of death was April 27, 2024. The estate consists of bank accounts totaling less than $17,000.00 and the names and addresses of those to whom it has been assigned by such Order are:

Name Address

Jonathan P. Romish 235 Meadow Lane Quarryville, PA 17566

ALL INTERESTED PERSONS ARE NOTIFIED THAT:

All creditors of the estate of the decedent and persons having claims or demands against the estate of the decedent other than those for whom provision for full payment was made in the Order of Summary Administration must file their claims with this court WITHIN THE TIME PERIODS SET FORTH IN FLORIDA STATUTES SECTION 733.702. ALL CLAIMS AND DEMANDS NOT SO FILED WILL BE FOREVER BARRED. NOT WITHSTANDING ANY OTHER APPLICABLE TIME PERIOD, ANY CLAIM FILED TWO (2) YEARS OR MORE AFTER THE DECEDENT’S DATE OF DEATH IS BARRED. Publication of this notice has begun on June 21, 2024. Jonathan P. Romish 235 Meadow Lane Quarryville, PA 17566

RONALD S. WEBSTER

Fla. Bar No. 570559

800 N. Collier Blvd., #203 Marco Island, FL 34145 (239) 394-8999

June 21, 28, 2024 24-01194C FIRST INSERTION

NOTICE TO CREDITORS IN THE CIRCUIT COURT FOR COLLIER COUNTY, FLORIDA PROBATE DIVISION File No. 24-CP-1369 Division Probate IN RE: ESTATE OF VIRGINIA MAE LANDIS Deceased.

The administration of the estate of Virginia Mae Landis, deceased, whose date of death was April 18th, 2024, is pending in the Circuit Court for Collier County, Florida, Probate Division, the address of which is 3315 Tamiami Trail E Naples, FL 34112. The names and addresses of the personal representative and the personal representative’s attorney are set forth below. All creditors of the decedent and other persons having claims or demands against decedent’s estate on whom a copy of this notice is required to be served must file their claims with this court ON OR BEFORE THE LATER OF 3 MONTHS AFTER THE TIME OF THE FIRST PUBLICATION OF THIS NOTICE OR 30 DAYS AFTER THE DATE OF SERVICE OF A COPY OF THIS NOTICE ON THEM.

All other creditors of the decedent and other persons having claims or demands against decedent’s estate must file their claims with this court WITHIN 3 MONTHS AFTER THE DATE OF THE FIRST PUBLICATION OF THIS NOTICE.

ALL CLAIMS NOT FILED WITHIN THE TIME PERIODS SET FORTH IN FLORIDA STATUTES SECTION 733.702 WILL BE FOREVER BARRED. NOTWITHSTANDING THE TIME PERIODS SET FORTH ABOVE, ANY CLAIM FILED TWO (2) YEARS OR MORE AFTER THE DECEDENT’S DATE OF DEATH IS BARRED.

The date of first publication of this notice is June 21, 2024.

Personal Representative: Dee Edwards Landis Attorney for Personal Representative: Douglas L Rankin, Attorney Florida Bar Number: 365068 2335 Tamiami Trail N STE 308 NAPLES, FL 34103

Telephone: (239) 262-0061

Fax: (239) 262-2092

E-Mail: dlr@drankinlaw.com

Secondary E-Mail: kj@drankinlaw.com June 21, 28, 2024 24-01204C

--- ESTATE --FIRST INSERTION NOTICE TO CREDITORS IN THE CIRCUIT COURT FOR COLLIER COUNTY, FLORIDA PROBATE DIVISION File No. 2024-CP-001341

Division Probate IN RE: ESTATE OF SHIRLEY M. DANIELS Deceased.

The administration of the estate of Shirley M. Daniels, deceased, whose date of death was April 3, 2023, is pending in the Circuit Court for Collier County, Florida, Probate Division, the address of which is 3315 Tamiami Trail E., Suite 102, Naples, Florida 34112. The names and addresses of the personal representative and the personal representative’s attorney are set forth below.

All creditors of the decedent and other persons having claims or demands against decedent’s estate on whom a copy of this notice is required to be served must file their claims with this court ON OR BEFORE THE LATER OF 3 MONTHS AFTER THE TIME OF THE FIRST PUBLICATION OF THIS NOTICE OR 30 DAYS AFTER THE DATE OF SERVICE OF A COPY OF THIS NOTICE ON THEM.

All other creditors of the decedent and other persons having claims or demands against decedent’s estate must file their claims with this court WITHIN 3 MONTHS AFTER THE DATE OF THE FIRST PUBLICATION OF THIS NOTICE.

ALL CLAIMS NOT FILED WITHIN THE TIME PERIODS SET FORTH IN FLORIDA STATUTES SECTION 733.702 WILL BE FOREVER BARRED.

NOTWITHSTANDING THE TIME PERIODS SET FORTH ABOVE, ANY CLAIM FILED TWO (2) YEARS OR MORE AFTER THE DECEDENT’S DATE OF DEATH IS BARRED.

The date of first publication of this notice is June 21, 2024. Personal Representative Maggie Daniels-Karwoski 178 S. Monroe Street Rockford, Michigan 49341

Attorney for Personal Representative: Karen L. Kayes E-mail Addresses: kkayes@wnj.com

Florida Bar No. 0039993 Warner Norcross + Judd LLP 700 Terrace Point Road, Suite 350 Muskegon, Michigan 49440 Telephone: (231) 727-2600 30739179-1 June 21, 28, 2024 24-01220C

FIRST INSERTION

NOTICE OF ACTION FOR DISSOLUTION OF MARRIAGE (NO CHILD OR FINANCIAL SUPPORT) IN THE CIRCUIT COURT OF THE TWENTIETH JUDICIAL CIRCUIT, IN AND FOR COLLIER COUNTY, FLORIDA

CaseNo.:24-DR-759-DV01

Division: Domestic Relations

Mickey Rich, Petitioner, and Christine Rich, Respondent, TO: Christine Rich 1203 Lincoln Street Riverton IL 62561 YOU ARE NOTIFIED that an action for dissolution of marriage has been filed against you and that you are required to serve a copy of your written defenses, if any, to it on Mickey Rich, whose address is 120 18th Street NE Naples FL 34120 on or before 07/12/2024, and file the original with the clerk of this Court at 3315 Tamiami Trail East, Naples, FL 34112 before service on Petitioner or immediately thereafter. If you fail to do so, a default may be entered against you for the relief demanded in the petition. The action is asking the court to decide how the following real or personal property should be divided: None Copies of all court documents in this case, including orders, are available at the Clerk of the Circuit Court’s office. You may review these documents upon request.

You must keep the Clerk of the Circuit Court’s office notified of your current address. (You may file Designation of Current Mailing and E-Mail Address, Florida Supreme Court Approved Family Law Form 12.915.) Future papers in this lawsuit will be mailed or e-mailed to the address(es) on record at the clerk’s office.

WARNING: Rule 12.285, Florida Family Law Rules of Procedure, requires certain automatic disclosure of documents and information. Failure to comply can result in sanctions, including dismissal or striking of pleadings.

Dated: 06/14/2024 03:56:37 PM CLERK OF THE CIRCUIT COURT (SEAL) By: Jennifer O’Donnell Jun. 21, 28; Jul. 5, 12, 2024 24-01215C

FIRST INSERTION NOTICE TO CREDITORS IN THE CIRCUIT COURT FOR COLLIER COUNTY, FLORIDA PROBATE DIVISION File No. 24-CP-1645 IN RE: ESTATE OF MARY T. GOLDSCHMID, aka MARY TAIT SEIBERT GOLDSCHMID Deceased. The administration of the Estate of MARY T. GOLDSCHMID, also known as MARY TAIT SEIBERT GOLDSCHMID, deceased, whose date of death was January 12, 2024; 24-CP1645, is pending in the Circuit Court for Collier County, Florida, Probate Division, the address of which is 3315 Tamiami Trail East, Naples, Florida 34112. The names and addresses of the Personal Representatives and the Personal Representatives’ attorney are set forth below. All creditors of the Decedent and other persons having claims or demands against Decedent’s Estate, on whom a copy of this Notice is required to be served, must file their claims with this Court ON OR BEFORE THE LATER OF 3 MONTHS AFTER THE TIME OF THE FIRST PUBLICATION OF THIS NOTICE OR 30 DAYS AFTER THE DATE OF SERVICE OF A COPY OF THIS NOTICE ON THEM. All other creditors of the Decedent and other persons having claims or demands against Decedent’s Estate must file their claims with this Court WITHIN 3 MONTHS AFTER THE DATE OF THE FIRST PUBLICATION OF THIS NOTICE. ALL CLAIMS NOT FILED WITHIN THE TIME PERIODS SET FORTH IN FLORIDA STATUTES SECTION 733.702 WILL BE FOREVER BARRED NOTWITHSTANDING THE TIME PERIOD SET FORTH ABOVE, ANY CLAIM FILED TWO (2) YEARS OR MORE AFTER THE DECEDENT’S DATE OF DEATH IS BARRED. The date of first publication of this notice is June 21, 2024. Signed on this 4th day of April, 2024. PAUL M. GOLDSCHMID Personal Representative 118 East 76th Street New York, NY 10021

CHARLES M. GOLDSCHMID Personal Representative 1 West 60th Street, Apt. 17D New York, NY 10023

PAGES 17-24 PAGE 17 **Additional Public Notices may be accessed on BusinessObserverFL.com and the statewide legal notice website, FloridaPublicNotices.com** JUNE 21 - JUNE 27, 2024
Public Notices
personal property
auction will be listed
must be made with cash only and paid at the above referenced facility in order to complete the transaction. Extra Space may refuse any bid and may rescind any purchase up until the winning bidder takes posses-
of the personal property. June 21, 28, 2024
FIRST INSERTION Notice of Self Storage Sale Please take notice Hide-Away Storage – Naples located at 1597 Pine Ridge Rd., Naples, FL 34109 intends to hold a sale to sell the property stored at the Facility by the below Occupants whom are in default at an Auction.
sale
FIRST INSERTION PUBLIC SALE Extra Space Storage will hold a public auction to sell
described below belonging to those individuals listed below at the location indicated: 7391 Rattlesnake Hammock Rd Naples, Fl 34113 Phone: 239-5223298 Auction Date: 7/11/2024 Time: 12:15 pm Jaclyn Gallegos Household items The
and advertised on www.storagetreasures.com. Purchases
sion
24-01196C
The
sold
JOESPH T. GOLDSCHMID Personal Representative 31 East 28th Street, Apt 8E New York, NY 10016 ALAN F. HILFIKER Attorney for Personal Representatives Florida Bar No. 0206040
Cohen
9110 Strada Place, Suite
Naples, FL 34108
390-1900
OFFICIAL COURTHOUSE WEBSITES MANATEE COUNTY manateeclerk.com SARASOTA COUNTY
CHARLOTTE COUNTY
LEE
COLLIER
HILLSBOROUGH
PASCO
POLK
ORANGE
LV20890_V5 --- ACTIONS ---
Dentons
& Grigsby P.C.
6200
Telephone: (239)
Email: alan.hilfiker@dentons.com Secondary Email: shannon.haas@dentons.com 4810783.v1 June 21, 28, 2024 24-01205C
sarasotaclerk.com
charlotteclerk.com
COUNTY leeclerk.org
COUNTY collierclerk.com
COUNTY hillsclerk.com
COUNTY pascoclerk.com PINELLAS COUNTY mypinellasclerk.gov
COUNTY polkcountyclerk.net
COUNTY myorangeclerk.com

FIRST INSERTION

NOTICE TO CREDITORS IN THE CIRCUIT COURT FOR COLLIER COUNTY, FLORIDA

PROBATE DIVISION

File No. 2024-CP-001105

Division Probate IN RE: ESTATE OF YVONNE F. HAMLIN a/k/a

YVONNE DIANA HAMLIN a/k/a YVONNE DIANA FRANZ HAMLIN, Deceased. The administration of the estate of YVONNE F. HAMLIN a/k/a YVONNE DIANA HAMLIN a/k/a YVONNE DIANA FRANZ HAMLIN, deceased, whose date of death was December 30, 2023, is pending in the Circuit Court for Collier County, Florida, Probate Division, the address of which is 3315 Tamiami Trail E, Ste. 102, Naples, Florida 34112-5324. The names and addresses of the Personal Representative and the Personal Representative’s attorney are set forth below.

All creditors of the Decedent and other persons having claims or demands against Decedent’s estate on whom a copy of this Notice is required to be served must file their claims with this court ON OR BEFORE THE LATER OF THREE (3) MONTHS AFTER THE TIME OF THE FIRST PUBLICATION OF THIS NOTICE OR THIRTY (30) DAYS AFTER THE DATE OF SERVICE OF A COPY OF THIS NOTICE ON THEM. All other creditors of the Decedent and other persons having claims or demands against Decedent’s estate must file their claims with this court WITHIN THREE (3) MONTHS AFTER THE DATE OF THE FIRST PUBLICATION OF THIS NOTICE.

ALL CLAIMS NOT FILED WITHIN THE TIME PERIODS SET FORTH IN FLORIDA STATUTES SECTION 733.702 WILL BE FOREVER BARRED. NOTWITHSTANDING THE TIME PERIODS SET FORTH ABOVE, ANY CLAIM FILED TWO (2) YEARS OR MORE AFTER THE DECEDENT’S DATE OF DEATH IS BARRED.

The date of first publication of this notice is June 21, 2024.

Personal Representative:

R. MARK HAMLIN, JR. a/k/a RICHARD M. HAMLIN, JR.

c/o Robert L. Lancaster, Esq.

CUMMINGS & LOCKWOOD LLC

P.O. Box 413032 Naples, Florida 34101

Attorney for Personal Representative: ROBERT L. LANCASTER, ESQ.

E-Mail Address: rlancaster@cl-law.com

Florida Bar No. 0462519

CUMMINGS & LOCKWOOD LLC

P.O. Box 413032 Naples, Florida 34101

Telephone: (239) 262-8311

8094130.1.docx 6/18/2024

June 21, 28, 2024 24-01229C

FIRST INSERTION NOTICE TO CREDITORS IN THE CIRCUIT COURT FOR COLLIER COUNTY, FLORIDA PROBATE DIVISION File No. 2024-CP-1777 Division 02 IN RE: ESTATE OF HERBERT A. CHRISTENSON A/K/A HERBERT ALAN CHRISTENSON Deceased.

The administration of the estate of Herbert A. Christenson also known as Herbert Alan Christenson, deceased, whose date of death was October 9, 2023, is pending in the Circuit Court for Collier County, Florida, Probate Division, the address of which is 3315 Tamiami Trail East, Naples, FL 34112. The names and addresses of the personal representative and the personal representative’s attorney are set forth below.

All creditors of the decedent and other persons having claims or demands against decedent’s estate on whom a copy of this notice is required to be served must file their claims with this court ON OR BEFORE THE LATER OF 3 MONTHS AFTER THE TIME OF THE FIRST PUBLICATION OF THIS NOTICE OR 30 DAYS AFTER THE DATE OF SERVICE OF A COPY OF THIS NOTICE ON THEM.

All other creditors of the decedent and other persons having claims or demands against decedent’s estate must file their claims with this court WITHIN 3 MONTHS AFTER THE DATE OF THE FIRST PUBLICATION OF THIS NOTICE.

ALL CLAIMS NOT FILED WITHIN THE TIME PERIODS SET FORTH IN FLORIDA STATUTES SECTION 733.702 WILL BE FOREVER BARRED.

NOTWITHSTANDING THE TIME PERIODS SET FORTH ABOVE, ANY CLAIM FILED TWO (2) YEARS OR MORE AFTER THE DECEDENT’S DATE OF DEATH IS BARRED.

The date of first publication of this notice is June 21, 2024.

Co-Personal Representatives: Charles A. Christenson 4948 Crosspointe Drive Doylestown, PA 18902 Lori Christenson 4948 Crosspointe Drive Doylestown, PA 18902

Attorney for Co-Personal Representatives: James E. Kerr, Attorney Florida Bar Number: 0521728 Henderson, Franklin, Starnes & Holt, P.A. 3451 Bonita Bay Boulevard, Suite 206 Bonita Springs, Florida 34134 Telephone: (239) 344-1100

Fax: (239) 344-1200

E-Mail: james.kerr@henlaw.com

Secondary E-Mail: denise.edwards@henlaw.com June 21, 28, 2024 24-01207C

FIRST INSERTION NOTICE TO CREDITORS IN THE CIRCUIT COURT FOR COLLIER COUNTY, FLORIDA PROBATE DIVISION File No. 112024CP001555000101 IN RE: ESTATE OF SHIRLEY SUE CROSBY, Deceased.

The administration of the estate of Shirley Sue Crosby, deceased, whose date of death was September 21, 2023, is pending in the Circuit Court for Collier County, Florida, Probate Division, the address of which is 3315 Tamiami Trail East, Ste. 102, Naples, Florida 34112. The names and addresses of the personal representative and the personal representative’s attorney are set forth below.

All creditors of the decedent and other persons having claims or demands against decedent’s estate on whom a copy of this notice is required to be served must file their claims with this court ON OR BEFORE THE LATER OF 3 MONTHS AFTER THE TIME OF THE FIRST PUBLICATION OF THIS NOTICE OR 30 DAYS AFTER THE DATE OF SERVICE OF A COPY OF THIS NOTICE ON THEM.

All other creditors of the decedent and other persons having claims or demands against decedent’s estate must file their claims with this court WITHIN 3 MONTHS AFTER THE DATE OF THE FIRST PUBLICATION OF THIS NOTICE.

ALL CLAIMS NOT FILED WITHIN THE TIME PERIODS SET FORTH IN FLORIDA STATUTES SECTION 733.702 WILL BE FOREVER BARRED.

NOTWITHSTANDING THE TIME PERIOD SET FORTH ABOVE, ANY CLAIM FILED TWO (2) YEARS OR MORE AFTER THE DECEDENT’S DATE OF DEATH IS BARRED. The date of first publication of this notice is June 21, 2024.

Personal Representative: Brad H Crosby 373 Henderson Court Marco Island, FL 34145

Attorney for Personal Representative: Susan N. Hayes

E-Mail Addresses: shayes@jcdeboard.com Florida Bar No. 57691

J. C. DeBoard & Co. LPA 5878 North High Street Worthington, OH 43085 Telephone: 614-847-1660 June 21, 28, 2024 24-01199C

FIRST INSERTION NOTICE TO CREDITORS IN THE CIRCUIT COURT FOR COLLIER COUNTY, FLORIDA PROBATE DIVISION File No. 24-CP-1713 IN RE: ESTATE OF ROYAL M. WORTMAN A/K/A ROYAL MAY WORTMAN

Deceased. The administration of the estate of Royal M. Wortman a/k/a Royal May Wortman, deceased, whose date of death was April 22, 2024, is pending in the Circuit Court for Collier County, Florida, Probate Division, the address of which is 3315 Tamiami Trail East, Suite 102, Naples, FL 34112-5324. The names and addresses of the personal representative and the personal representative’s attorney are set forth below.

All creditors of the decedent and other persons having claims or demands against decedent’s estate on whom a copy of this notice is required to be served must file their claims with this court ON OR BEFORE THE LATER OF 3 MONTHS AFTER THE TIME OF THE FIRST PUBLICATION OF THIS NOTICE OR 30 DAYS AFTER THE DATE OF SERVICE OF A COPY OF THIS NOTICE ON THEM.

All other creditors of the decedent and other persons having claims or demands against decedent’s estate must file their claims with this court WITHIN 3 MONTHS AFTER THE DATE OF THE FIRST PUBLICATION OF THIS NOTICE.

ALL CLAIMS NOT FILED WITHIN THE TIME PERIODS SET FORTH IN FLORIDA STATUTES SECTION 733.702 WILL BE FOREVER BARRED.

NOTWITHSTANDING THE TIME PERIODS SET FORTH ABOVE, ANY CLAIM FILED TWO (2) YEARS OR MORE AFTER THE DECEDENT’S DATE OF DEATH IS BARRED.

The date of first publication of this notice is June 21, 2024.

Co-Personal Representatives: Susan Jane Adams 8478 Radcliffe Terrace Apt. No. 101 Naples, Florida 34120 Patricia Anne Day 584 Crestpoint Lane Plainfield, IN 46168

Attorney for Co-Personal Representatives: James E. Kerr, Attorney Florida Bar Number: 521728 Henderson, Franklin, Starnes & Holt, P.A. 3451 Bonita Bay Boulevard Suite 206 Bonita Springs, FL 34134 Telephone: (239) 344-1130

Fax: (239) 294-3731

E-Mail: james.kerr@henlaw.com

Secondary E-Mail: becky.defrancesco@henlaw.com June 21, 28, 2024 24-01208C

FIRST INSERTION

NOTICE TO CREDITORS IN THE CIRCUIT COURT FOR COLLIER COUNTY, FLORIDA PROBATE DIVISION File No. 24-CP-001747

IN RE: ESTATE OF MARY LYNN ESTEP Deceased.

The administration of the estate of MARY LYNN ESTEP, deceased, whose date of death was March 1, 2024; File Number 24-CP-001747, is pending in the Circuit Court for Collier County, Florida, Probate Division, the address of which is 3315 Tamiami Trail East, Suite #102, Naples, FL 34112-5324.

The names and addresses of the personal representative and the personal representative’s attorney are set forth below.

All creditors of the decedent and other persons having claims or demands against decedent’s estate, on whom a copy of this notice is required to be served must file their claims with this court WITHIN THE LATER OF 3 MONTHS AFTER THE TIME OF THE FIRST PUBLICATION OF THIS NOTICE OR 30 DAYS AFTER THE DATE OF SERVICE OF A COPY OF THIS NOTICE ON THEM.

All other creditors of the decedent and other persons having claims or demands against decedent’s estate must file their claims with this court WITHIN 3 MONTHS AFTER THE DATE OF THE FIRST PUBLICATION OF THIS NOTICE.

ALL CLAIMS NOT FILED WITHIN THE TIME PERIODS SET FORTH IN SECTION 733.702 OF THE FLORIDA PROBATE CODE WILL BE FOREVER BARRED. NOTWITHSTANDING THE TIME PERIOD SET FORTH ABOVE, ANY CLAIM FILED TWO (2) YEARS OR MORE AFTER THE DECEDENT’S DATE OF DEATH IS BARRED.

The date of first publication of this notice is: June 21, 2024. KENT A. FLIFLET

Personal Representative c/o A. ERIC ANDERSON, P.A.

350 Fifth Avenue South, Suite 200 Naples, Florida 34102

A. ERIC ANDERSON

Attorney for Personal Representative

Florida Bar No. 0322865

A. ERIC ANDERSON, P.A.

350 Fifth Avenue South, Suite 200 Naples, Florida 34102

Telephone: (239) 262-7748

Facsimile: (239) 262-7144

June 21, 28, 2024 24-01224C

FIRST INSERTION NOTICE TO CREDITORS IN THE CIRCUIT COURT FOR COLLIER COUNTY, FLORIDA PROBATE DIVISION File No. 24-CP-1619 Division Probate IN RE: ESTATE OF MICHAEL B. PUZIO Deceased.

The administration of the estate of MICHAEL B. PUZIO, deceased, whose date of death was April 2, 2024, is pending in the Circuit Court for COLLIER County, Florida, Probate Division, the address of which is 3315 Tamiami Trail East, Naples, FL 34112. The names and addresses of the personal representative and the personal representative’s attorney are set forth below.

All creditors of the decedent and other persons having claims or demands against decedent’s estate on whom a copy of this notice is required to be served must file their claims with this court ON OR BEFORE THE LATER OF 3 MONTHS AFTER THE TIME OF THE FIRST PUBLICATION OF THIS NOTICE OR 30 DAYS AFTER THE DATE OF SERVICE OF A COPY OF THIS NOTICE ON THEM.

All other creditors of the decedent and other persons having claims or demands against decedent’s estate must file their claims with this court WITHIN 3 MONTHS AFTER THE DATE OF THE FIRST PUBLICATION OF THIS NOTICE.

ALL CLAIMS NOT FILED WITHIN THE TIME PERIODS SET FORTH IN FLORIDA STATUTES SECTION 733.702 WILL BE FOREVER BARRED.

NOTWITHSTANDING THE TIME PERIODS SET FORTH ABOVE, ANY CLAIM FILED TWO (2) YEARS OR MORE AFTER THE DECEDENT’S DATE OF DEATH IS BARRED.

The date of first publication of this notice is June 21, 2024. Personal Representative: DocuSigned by: Elaine M. Puzio Elaine M. Puzio 6500 Caldecott Drive Naples, Florida 34113

Attorney for Personal Representative: /s/ Christina Davidow

Christina Davidow, Esq., Attorney Florida Bar Number: 66356 Willis & Davidow, Attorneys at Law, LLC 9015 Strada Stell Ct., Suite 106 Naples, FL 34109 Telephone: (239) 465-0531

Fax: (888) 435-0911

E-Mail: cdavidow@willisdavidow.com

Secondary E-Mail: crinaldi@gmail.com June 21, 28, 2024 24-01221C

FIRST INSERTION NOTICE TO CREDITORS IN THE CIRCUIT COURT FOR COLLIER COUNTY, FLORIDA PROBATE DIVISION File No. 2024-CP-3440 Division Probate IN RE: ESTATE OF ROBERT G. GORMAN, JR. Deceased.

The administration of the estate of Robert G. Gorman, Jr., deceased, whose date of death was April 24, 2024, is pending in the Circuit Court for Collier County, Florida, Probate Division, the address of which is 3315 Tamiami Trail E., 102, Naples, FL 34112-5324. The names and addresses of the personal representative and the personal representative’s attorney are set forth below.

All creditors of the decedent and other persons having claims or demands against decedent’s estate on whom a copy of this notice is required to be served must file their claims with this court ON OR BEFORE THE LATER OF 3 MONTHS AFTER THE TIME OF THE FIRST PUBLICATION OF THIS NOTICE OR 30 DAYS AFTER THE DATE OF SERVICE OF A COPY OF THIS NOTICE ON THEM.

All other creditors of the decedent and other persons having claims or demands against decedent’s estate must file their claims with this court WITHIN 3 MONTHS AFTER THE DATE OF THE FIRST PUBLICATION OF THIS NOTICE.

ALL CLAIMS NOT FILED WITHIN THE TIME PERIODS SET FORTH IN FLORIDA STATUTES SECTION 733.702 WILL BE FOREVER BARRED.

NOTWITHSTANDING THE TIME PERIODS SET FORTH ABOVE, ANY CLAIM FILED TWO (2) YEARS OR MORE AFTER THE DECEDENT’S DATE OF DEATH IS BARRED.

The date of first publication of this notice is 6/21/2024.

Personal Representative: Bryan Gorman 7228 Coventry Circle North Richland Hills, Texas 76182

Attorney for Personal Representative: Jeffrey R. Grant, Attorney Florida Bar Number: 63918

Grant Cottrell, PLLC 5147 Castello Drive Naples, FL 34103

Telephone: (239) 649-4848

Fax: (239) 643-9810

E-Mail: jeff@grantcottrell.com

Secondary E-Mail: jennifer@grantcottrell.com June 21, 28, 2024 24-01206C

FIRST INSERTION NOTICE TO CREDITORS IN THE TWENTIETH JUDICIAL CIRCUIT COURT IN AND FOR COLLIER COUNTY, FLORIDA PROBATE DIVISION File No. 2024-CP-1824 IN RE: ESTATE OF JANICE L. WILLIAMS, Deceased.

The administration of the estate of Janice L. Williams, deceased, whose date of death was December 29, 2023, is pending in the Circuit Court for Collier County, Florida, Probate Division, the address of which is 3315 Tamiami Trail East, Naples, Florida 34112. The names and addresses of the personal representative and the personal representative’s attorney are set forth below.

All creditors of the decedent and other persons having claims or demands against decedent’s estate on whom a copy of this notice is required to be served must file their claims with this court ON OR BEFORE THE LATER OF 3 MONTHS AFTER THE TIME OF THE FIRST PUBLICATION OF THIS NOTICE OR 30 DAYS AFTER THE DATE OF SERVICE OF A COPY OF THIS NOTICE ON THEM.

All other creditors of the decedent and other persons having claims or demands against decedent’s estate must file their claims with this court WITHIN 3 MONTHS AFTER THE DATE OF THE FIRST PUBLICATION OF THIS NOTICE.

ALL CLAIMS NOT FILED WITHIN THE TIME PERIODS SET FORTH IN FLORIDA STATUTES SECTION 733.702 WILL BE FOREVER BARRED.

NOTWITHSTANDING THE TIME PERIOD SET FORTH ABOVE, ANY CLAIM FILED TWO (2) YEARS OR MORE AFTER THE DECEDENT’S DATE OF DEATH IS BARRED.

The date of first publication of this notice is June 21, 2024.

Personal Representative: Wayne Williams 4751 Gulf Shore Blvd., Unit #1202 Naples, Florida 34103

Attorney for Personal Representative: Brad A. Galbraith Florida Bar No. 0494291

GALBRAITH WEATHERBIE LAW, PLLC 999 Vanderbilt Beach Rd., Suite #509 Naples, Florida 34108 Telephone: (239) 325-2300

Primary E-Mail: bgalbraith@gwtrust.law

Secondary E-Mail: aboswell@gwtrust.law June 21, 28, 2024 24-01209C

FIRST INSERTION NOTICE TO CREDITORS IN THE CIRCUIT COURT FOR COLLIER COUNTY, FLORIDA PROBATE DIVISION File No. 2024-CP-001758 Division Probate IN RE: ESTATE OF SHIRLEY B. CARLIN Deceased.

The administration of the estate of SHIRLEY B. CARLIN, deceased, whose date of death was November 30, 2023, is pending in the Circuit Court for Collier County, Florida, Probate Division, the address of which is 3315 Tamiami Trail E., Suite 102, Naples, Florida 34112. The names and addresses of the personal representative and the personal representative’s attorney are set forth below.

All creditors of the decedent and other persons having claims or demands against decedent’s estate on whom a copy of this notice is required to be served must file their claims with this court ON OR BEFORE THE LATER OF 3 MONTHS AFTER THE TIME OF THE FIRST PUBLICATION OF THIS NOTICE OR 30 DAYS AFTER THE DATE OF SERVICE OF A COPY OF THIS NOTICE ON THEM.

All other creditors of the decedent and other persons having claims or demands against decedent’s estate must file their claims with this court WITHIN 3 MONTHS AFTER THE DATE OF THE FIRST PUBLICATION OF THIS NOTICE.

ALL CLAIMS NOT FILED WITHIN THE TIME PERIODS SET FORTH IN FLORIDA STATUTES SECTION 733.702 WILL BE FOREVER BARRED. NOTWITHSTANDING THE TIME PERIODS SET FORTH ABOVE, ANY CLAIM FILED TWO (2) YEARS OR MORE AFTER THE DECEDENT’S DATE OF DEATH IS BARRED.

The date of first publication of this notice is June 21, 2024.

Personal Representative: LISA SUZANNE MOMBERG 6007 Ellerston Way, Unit 722 Ave Maria, Florida 34142

Attorney for Personal Representative: MARK R. KLYM, Attorney Florida Bar Number: 0049003

HAHN LOESER & PARKS LLP 5811 Pelican Bay Boulevard, Suite 650 Naples, Florida 34108

Telephone: (239) 254-2900

Fax: (239) 254-2947

E-Mail: mklym@hahnlaw.com

Secondary E-Mail: cpiglia@hahnlaw.com 15583102.v1 June 21, 28, 2024 24-01216C

the address of which is 3315 Tamiami Trail E Naples, FL 34112. The names and addresses of the personal representative and the personal representative’s attorney are set forth below. All creditors of the decedent and other persons having claims or demands

OF

OF

AFTER

OR

OF

AFTER THE DATE OF

OF

OF THIS NOTICE ON THEM. All other creditors of the decedent and other persons having claims or demands against decedent’s estate must file their claims with this court WITHIN 3 MONTHS AFTER THE DATE OF THE FIRST PUBLICATION OF THIS NOTICE. ALL CLAIMS NOT FILED WITHIN THE TIME PERIODS SET FORTH IN FLORIDA STATUTES SECTION 733.702 WILL BE FOREVER BARRED.

NOTWITHSTANDING THE TIME PERIODS SET FORTH ABOVE, ANY CLAIM FILED TWO (2) YEARS OR MORE AFTER THE DECEDENT’S DATE OF DEATH IS BARRED.

The date of first publication of this notice is June 21, 2024.

Personal Representative: Melissa Waite 5255 Tudor Court Naples, Florida 34112

Attorney for Personal Representative: Douglas L Rankin, Attorney Florida Bar Number: 365068 2335 Tamiami Trail N STE 308 NAPLES, FL 34103 Telephone: (239) 262-0061 Fax: (239) 262-2092

E-Mail: dlr@drankinlaw.com

Secondary E-Mail:

FIRST INSERTION NOTICE TO CREDITORS IN THE CIRCUIT COURT FOR COLLIER COUNTY, FLORIDA PROBATE DIVISION File No. 2024-CP-1531 IN RE: ESTATE OF MARK W. SHAUGHNESSY, Deceased. The administration of the estate of MARK W. SHAUGHNESSY, deceased, whose date of death was March 8, 2024, is pending in the Circuit Court for Collier County, Florida, Probate Division, the address of which is 3315 Tamiami Trail East, Suite 102, Naples, FL 341125324. The names and addresses of the Personal Representative and the Personal Representative’s attorney are set forth below. All creditors of the decedent and other persons having claims or demands against decedent’s estate on whom a copy of this notice is required to be served must file their claims with this court ON OR BEFORE THE LATER OF 3 MONTHS AFTER THE TIME OF THE FIRST PUBLICATION OF THIS NOTICE OR 30 DAYS AFTER THE DATE OF SERVICE OF A COPY OF THIS NOTICE ON THEM. All other creditors of the decedent and other persons having claims or demands against decedent’s estate must file their claims with this court WITHIN 3 MONTHS AFTER THE DATE OF THE FIRST PUBLICATION OF THIS NOTICE. ALL CLAIMS NOT FILED WITHIN THE TIME PERIODS SET FORTH IN FLORIDA STATUTES SECTION 733.702 WILL BE FOREVER BARRED. NOTWITHSTANDING THE TIME PERIODS SET FORTH ABOVE, ANY CLAIM FILED TWO

JUNE 21 - JUNE 27, 2024 BUSINESS OBSERVER COLLIER COUNTY 18
(2) YEARS OR MORE AFTER THE DECEDENT’S DATE OF DEATH IS BARRED. The date of first publication of this notice is June 21, 2024. Personal Representative: /s/ Sue B. Shaughnessy SUE B. SHAUGHNESSY 1295 Manado Drive Naples, Florida 34113 Attorneys for Personal Representative: /s/ Mark R. Klym MARK R. KLYM, ESQ. Florida Bar Number: 0049003 PHOEBE S. WISE, ESQ. Florida Bar No. 105652 HAHN LOESER & PARKS LLP 5811 Pelican Bay Boulevard, Suite 650 Naples, Florida 34108 Telephone: (239) 254-2900 Fax: (239) 592-7716 mklym@hahnlaw.com pwise@hahnlaw.com dlegan@hahnlaw.com June 21, 28, 2024 24-01228C
FIRST INSERTION NOTICE TO CREDITORS IN THE CIRCUIT COURT FOR COLLIER COUNTY, FLORIDA PROBATE DIVISION File No. 24-CP-1247
Probate
RE: ESTATE OF KATHERINE
SEARS
administration of the estate of Katherine Sue Sears, deceased, whose date of death was March 9, 2024, is pending in the Circuit Court for Collier County, Florida, Probate Division,
this
required to be
their claims
this
Division
IN
SUE
Deceased. The
against decedent’s estate on whom a copy of
notice is
served must file
with
court ON OR BEFORE THE LATER
3 MONTHS
THE TIME
THE FIRST PUBLICATION
THIS NOTICE
30 DAYS
SERVICE
A COPY
June 21, 28, 2024 24-01195C
kj@drankinlaw.com
--- ESTATE --Friday
SARASOTA • MANATEE HILLSBOROUGH • PASCO PINELLAS • POLK • LEE COLLIER •CHARLOTTE LV20906_V9
Publication

NOTICE OF SALE IN THE CIRCUIT COURT OF THE 20TH JUDICIAL CIRCUIT, IN AND FOR COLLIER COUNTY, FLORIDA CASE NO: 11-2023-CA-002468-0001-XX

DAWATEE C. LIEU and SABRINA DEVI LIEU, Plaintiffs, vs. WALKER MUSIC and TOTAL HOME ROOFING, LLC, f/k/a ANGI ROOFING LLC, a Delaware limited liability company, Defendants.

NOTICE IS HEREBY GIVEN pursuant to a Final Judgment of Foreclosure docketed May 13, 2024, and entered in case 11-2023-CA-002468-0001-XX of the Circuit Court of the Twentieth Judicial Circuit in and for Collier County, Florida wherein DAWATEE C. LIEU and SABRINA DEVI LIEU are the Plaintiffs, and WALKER MUSIC and TOTAL HOME ROOFING, LLC f/k/a ANGI ROOFING LLC, a Delaware limited liability company, are the Defendants. Crystal K. Kinzel as the Clerk of the Circuit Court will sell to the highest bidder for cash at 11 a.m. on Thursday, July 11, 2024 on the 1st floor in the Multipurpose Room in Customer Service of the Courthouse Annex, Collier County Courthouse, 3315 Tamiami Trail East, Naples, FL 34112, the following described property as set forth in said Order of Final Judgment of Foreclosure, to wit: The West 75 feet of the East 150 feet of Tract 18, GOLDEN GATE

NOTICE OF SALE

PURSUANT TO CHAPTER 45 IN THE CIRCUIT COURT OF THE TWENTIETH JUDICIAL CIRCUIT IN AND FOR COLLIER COUNTY, FLORIDA GENERAL JURISDICTION DIVISION CASE NO. 23-CA-173 MAPLE RIDGE AT AVE MARIA HOMEOWNERS ASSOCIATION, INC., A FLORIDA NOT FOR PROFIT CORPORATION, PLAINTIFF, V. DAVID SANTOS, ET AL., DEFENDANTS.

ESTATES, UNIT 18, according to the Plat thereof as recorded in Plat Book 7 at Page 7 of the Public Records of Collier County, Florida Address: 130 16th Avenue NE, Naples, FL 34120 Folio: 37491520007 Any person claiming an interest in the surplus from the sale, if any, other than the property owner as of the date of the lis pendens, must file a claim within 60 days after the sale.

If you are a person with a disability who needs any accommodation in order to participate in this proceeding, you are entitled, at no cost to you, to the provision of certain assistance. Please contact Charles Rice, Administrative Services Manager, whose office is located at 3315 East Tamiami Trail, Suite 501, Naples, Florida 34112, and whose telephone number is (239) 252-8800, at least 7 days before your scheduled court appearance, or immediately upon receiving this notification if the time before the scheduled appearance is less than 7 days; if you are hearing or voice impaired, called 711. Dated 14th day of June, 2024. Attorney for Plaintiff: David Levine, Esq. of Levine Legal, P.A. 9124 Griffin Road, Cooper City, FL 33328 (954) 585 – 3967 david@levine-legal.com 23-0117 Lieu – Notice of Sale June 21, 28, 2024 24-01218C

COLLIER COUNTY

What is a public notice?

A public notice is information intended to inform citizens of government activities. The notice should be published in a forum independent of the government, readily available to the public, capable of being securely archived and verified by authenticity.

The West Orange Times carries public notices in Orange County, Florida.

Are internet-only legal notices sufficient?

No. While the internet is clearly a useful resource, websites should not be used as the sole source of a legal notice.

Websites, whether controlled by a government body or a private firm, are not independent, archived, readily available or independently verified.

Newspaper legal notices fulfills all of those standards.

Attorneys for Plaintiff Six Mile Corporate Park 12140 Carissa Commerce Court, Suite 200 Fort Myers, FL 33966 Phone: (239) 433-7707 Fax: (239) 433-5933 Primary email: cofoservicemail@beckerlawyers.com BY: K. Joy Mattingly Florida Bar #17391 25157319v.1 M30748/415638 June 21, 28, 2024 24-01219C

NOTICE IS HEREBY GIVEN pursuant to a Final Judgment of Foreclosure dated June 11, 2024, and entered in Case No. 23-CA-173 of the Circuit Court of the Twentieth Judicial Circuit in and for Collier County, Florida, wherein MAPLE RIDGE AT AVE MARIA HOMEOWNERS ASSOCIATION, INC. is Plaintiff, and DAVID SANTOS and BELINDA GARZA SANTOS are Defendants, Crystal K. Kinzel, Collier County Clerk of Court, will sell to the highest and best bidder for cash: at Collier County Courthouse, 3315 Tamiami Trail East (3rd Floor, Lobby), the Clerk’s street address for auctions, at 11:00 AM, on the 11th day of July, 2024 the following described property as set forth in said Final Judgment, to wit: Lot 166, Maple Ridge at Ave Maria Phase 3 Replat, a subdivision according to the plat thereof as recorded at Plat Book 59, Page 18 through 22, in the Public Records of Collier County, Florida A/K/A: 5165 Salerno Street, Unit 166, Ave Maria, FL 34142 A PERSON CLAIMING AN INTEREST IN THE SURPLUS FROM THE SALE, IF ANY, OTHER THAN THE PROPERTY OWNER AS OF THE DATE OF THE LIS PENDENS MUST FILE A CLAIM WITHIN SIXTY (60) DAYS AFTER THE SALE. BECKER & POLIAKOFF, P.A.

NOTICE OF FORECLOSURE SALE IN THE CIRCUIT COURT OF THE TWENTIETH JUDICIAL CIRCUIT IN AND FOR COLLIER COUNTY, FLORIDA

Case No: 2023-CA-003364

Wilmington Savings Fund Society, FSB not in its individual capacity but solely as owner trustee on behalf of ANTLR Mortgage Trust 2021-RTL1, Plaintiff, vs. Royal Fresh Houses LLC; et. al., Defendants. NOTICE IS HEREBY GIVEN that pursuant the Final Judgment of Foreclosure dated 06/17/2024, and entered in Case No. 2023-CA-003364 of the Circuit Court of the TWENTIETH Judicial Circuit in and for Collier County, Florida wherein Wilmington Savings Fund Society, FSB not in its individual capacity but solely as owner trustee on behalf of ANTLR Mortgage Trust 2021-RTL1, is the Plaintiff and Royal Fresh Houses, LLC; Justin Higgins are Defendants, I, Crystal K. Kinzel, Clerk of the Circuit Court and Comptroller, will sell to the highest and best bidder for cash on July 25, 2024 at Courthouse Annex in the Multipurpose Room in Customer Service at the Collier County Courthouse, 3315 Tamiami Trail East, Naples, FL 34112, beginning at 11 am on the following described property set forth in said Final Judgment, to wit: Lot 10, Block 67, Naples Park

Subdivision, Unit No. 5, according to the Plat thereof recorded in Plat Book 3, Page 14, of the Public Records of Collier County, Florida. Property address: 761 99th Avenue North, Naples, FL 34108 Any person or entity claiming an interest in the surplus, if any, resulting from the Foreclosure Sale, other than the property owner as of the date of the Lis Pendens, must file a claim with the Clerk no later than the date that the Clerk reports the funds as unclaimed. If you fail to file a claim, you will not be entitled to any remaining funds. If the sale is set aside, the Purchaser may be entitled to only a return of the sale deposit less any applicable fees and costs and shall have no other recourse against the Mortgagor, the Mortgagee or the Mortgagee’s attorney. DATED June 17, 2024 /s/ Anthony Vamvas Anthony Vamvas, Esq. Florida Bar No. 42742 Lender Legal PLLC 1800 Pembrook Drive, Suite 250 Orlando, FL 32810 Tel: (407) 730-4644 Attorney for Plaintiff Service Emails: AVamvas@lenderlegal.com EService@LenderLegal.com

the

Are there different types of legal notices?

Simply put, there are two basic types - Warning Notices and Accountability Notices.

Warning notices inform you when government, or a private party authorized by the government, is about to do something that may affect your life, liberty or pursuit of happiness. Warning notices typically are published more than once over a certain period.

Accountability notices are designed to make sure citizens know details about their government. These notices generally are published one time, and are archived for everyone to see. Accountability is key to efficiency in government.

Who benefits from legal notices?

You do. Legal notices are required because a government body or corporation wants to take action that can affect individuals and the public at large.

When the government is about to change your life, or your property or assets are about to be taken, public notices in newspapers serve to alert those affected.

How much do legal notices cost?

The price for notices in the printed newspaper must include all costs for publishing the ad in print, on the newspaper’s website and to www. floridapublicnotices.com.

The public is well-served by notices published in a community newspaper.

JUNE 21 - JUNE 27, 2024 BusinessObserverFL.com
19
LEGAL NOTICE PUBLISH YOUR Call 941-906-9386 and select
appropriate County name from
menu. or email legal@businessobserverfl.com LV20878_V8 VIEW NOTICES ONLINE AT Legals.BusinessObserverFL.com To publish your legal notice email: legal@businessobserverfl.com
the
LV18237_V28
FIRST INSERTION FIRST INSERTION FIRST INSERTION --- SALES ---

SECOND INSERTION

NOTICE TO CREDITORS IN THE CIRCUIT COURT FOR COLLIER COUNTY, FLORIDA

PROBATE DIVISION

FILE NO.: 24-CP-1026 IN RE: ESTATE OF JAMES J. SCHARDT a/k/a

JAMES JOHN SCHARDT, Deceased.

The administration of the estate of JAMES J. SCHARDT a/k/a JAMES JOHN SCHARDT, deceased, whose date of death was October 3, 2023, is pending in the Circuit Court for Collier County, Florida, Probate Division, the address of which is 3315 Tamiami Trail East, Naples, FL 34112. The names and addresses of the personal representative and the personal representative’s attorney are set forth below.

All creditors of the decedent and other persons having claims or demands against decedent’s estate on whom a copy of this notice is required to be served must file their claims with this court ON OR BEFORE THE LATER OF 3 MONTHS AFTER THE TIME OF THE FIRST PUBLICATION OF THIS NOTICE OR 30 DAYS AFTER THE DATE OF SERVICE OF A COPY OF THIS NOTICE ON THEM.

All other creditors of the decedent and other persons having claims or demands against decedent’s estate must file their claims with this court WITHIN 3 MONTHS AFTER THE DATE OF THE FIRST PUBLICATION OF THIS NOTICE.

ALL CLAIMS NOT FILED WITHIN THE TIME PERIODS SET FORTH IN FLORIDA STATUTES SECTION 733.702 WILL BE FOREVER BARRED.

NOTWITHSTANDING THE TIME PERIODS SET FORTH ABOVE, ANY CLAIM FILED TWO (2) YEARS OR MORE AFTER THE DECEDENT’S DATE OF DEATH IS BARRED.

The date of first publication of this notice is June 14, 2024.

Personal Representative:

DAVID D. SCHARDT

c/o Robert L. Lancaster, Esq.

CUMMINGS & LOCKWOOD LLC

3001 Tamiami Trail North, Suite 400 Naples, FL 34103

Attorney for Personal Representative: ROBERT L. LANCASTER, ESQ.

E-mail Addresses: rlancaster@cl-law.com, jmerz@cl-law.com

Florida Bar No. 0462519

CUMMINGS & LOCKWOOD LLC

3001 Tamiami Trail North, Suite 400 Naples, FL 34103

Telephone: (239) 262-8311

8209091.1.docx

June 14, 21, 2024 24-01152C

SUBSEQUENT INSERTIONS

--- ESTATE ---

SECOND INSERTION

NOTICE TO CREDITORS

IN THE CIRCUIT COURT OF THE TWENTIETH JUDICIAL CIRCUIT IN AND FOR COLLIER COUNTY, FLORIDA File No. 2024-CP-1708

Division: Probate

IN RE: ESTATE OF STEVEN THOMAS MILLER a/k/a STEVEN T. MILLER Deceased.

The administration of the estate of Steven Thomas Miller a/k/a Steven T. Miller, deceased, whose date of death was May 2, 2024, is pending in the Circuit Court for Collier County, Florida, Probate Division, the address of which is 3315 Tamiami Trail East, Ste. 102, Naples, FL 34112. The names and addresses of the personal representatives and the personal representative’s attorney are set forth below.

All creditors of the decedent and other persons having claims or demands against decedent’s estate, on whom a copy of this notice is required to be served, must file their claims with this court ON OR BEFORE THE LATER OF 3 MONTHS AFTER THE TIME OF THE FIRST PUBLICATION OF THIS NOTICE OR 30 DAYS AFTER THE DATE OF SERVICE OF A COPY OF THIS NOTICE ON THEM.

All other creditors of the decedent and other persons having claims or demands against decedent’s estate must file their claims with this court WITHIN 3 MONTHS AFTER THE DATE OF THE FIRST PUBLICATION OF THIS NOTICE.

ALL CLAIMS NOT FILED WITHIN THE TIME PERIODS SET FORTH IN FLORIDA STATUTES SECTION 733.702 WILL BE FOREVER BARRED.

NOTWITHSTANDING THE TIME PERIOD SET FORTH ABOVE, ANY CLAIM FILED TWO (2) YEARS OR MORE AFTER THE DECEDENT’S DATE OF DEATH IS BARRED.

The date of first publication of this notice is: June 14, 2024.

THOMAS M. MILLER

Personal Representative

ADAM M. GROSS, ESQ. Florida Bar No. 114922

E-mail: agross@crewlawfl.com

Attorney for Personal Representatives CREW LAW, P.A. 1333 3rd Ave. S., Suite 505 Naples, FL 34102

Telephone: 239-790-8133

Facsimile: 239-230-2078

June 14, 21, 2024 24-01151C

NOTICE TO CREDITORS IN THE CIRCUIT COURT OF THE TWENTIETH JUDICIAL CIRCUIT IN AND FOR COLLIER COUNTY, FLORIDA PROBATE DIVISION FILE NO.: 11-2023-CP-003158-0001-XX (Clerk’s File No.: 23-3158–CP) IN RE: ESTATE OF SALLY J. BUTZ, Deceased. The administration of the Estate of SALLY J. BUTZ, deceased, whose date of death was April 28, 2023, and whose social security number is listed on the certified copy of decedent’s death certificate filed in the administration of this estate, is now pending under File Number 11-2023-CP-003158-0001-XX in the Circuit Court for 20th Judicial Circuit, Collier County, Florida, Probate Division, the address of which is 3315 Tamiami Trail East, Suite #102, Naples, Florida 34112-5324. The names and

NOTICE TO CREDITORS IN THE CIRCUIT COURT OF THE TWENTIETH JUDICIAL CIRCUIT IN AND FOR COLLIER COUNTY, FLORIDA

PROBATE DIVISION FILE NO.: 11-2024-CP-001391-0001-XX (Clerk’s File No.: 24-1391–CP) IN RE: ESTATE OF SAMUEL SHNIPER, Deceased. The administration of the Estate of SAMUEL SHNIPER, deceased, whose date of death was January 14, 2024, and whose social security number is listed on the certified copy of decedent’s death certificate filed in the administration of this estate, is now pending under File Number 11-2024-CP-001391-0001-XX in the Circuit Court for 20th Judicial Circuit, Collier County, Florida, Probate Division, the address of which is 3315 Tamiami Trail East, Suite #102, Naples, Florida 34112-5324. The names and addresses of the personal representa-

SECOND INSERTION

NOTICE TO CREDITORS IN THE CIRCUIT COURT OF THE TWENTIETH JUDICIAL CIRCUIT COLLIER COUNTY, FLORIDA

PROBATE DIVISION FILE NO. 2024-1533-CP IN RE: Estate of AUDREY HOPE HICKLE, Deceased.

The administration of the estate of AUDREY HOPE HICKLE, deceased, whose date of death was April 21, 2024, is pending in the Circuit Court for Collier County, Florida, Probate Division, the address of which is 3315 East Tamiami Trail East, Suite #102, Naples, Florida 34112-5324. The names and addresses of the Personal Representative and the Personal Representative’s attorney are set forth below.

All creditors of the decedent and other persons having claims or demands against decedent’s estate on whom a copy of this notice is required to be served must file their claims with this court ON OR BEFORE THE LATER OF 3 MONTHS AFTER THE TIME OF THE FIRST PUBLICATION OF THIS NOTICE OR 30 DAYS AFTER THE DATE OF SERVICE OF A COPY OF THIS NOTICE ON THEM.

All other creditors of the decedent and other persons having claims or demands against decedent’s estate must file their claims with this Court WITHIN 3 MONTHS AFTER THE DATE OF THE FIRST PUBLICATION OF THIS NOTICE.

ALL CLAIMS NOT FILED WITHIN THE TIME PERIODS SET FORTH IN FLORIDA STATUTES SECTION 733.702 WILL BE FOREVER BARRED. NOTWITHSTANDING THE TIME PERIODS SET FORTH ABOVE, ANY CLAIM FILED TWO (2) YEARS OR MORE AFTER THE DECEDENT’S DATE OF DEATH IS BARRED.

The date of first publication of this Notice is June 14, 2024.

Personal Representative: CATHY ANN DOTTER 2911 10th Street North, Naples, Florida 34103

Attorney for Personal Representative: Deborah A. Stewart, Esq. Dstewart@dslaw.org Florida Bar No. 0015301 400 Fifth Avenue South Suite 200 Naples, Florida 34102 (239) 262-7090 June 14, 21, 2024 24-01157C

SECOND INSERTION

addresses of the personal representative and the personal representative’s attorney are set forth below.

All creditors of the decedent and other persons having claims or demands against decedent’s estate on whom a copy of this notice is required to be served must file their claims with this court WITHIN THE LATER OF THREE (3) MONTHS AFTER THE TIME OF THE FIRST PUBLICATION OF THIS NOTICE OR THIRTY (30) DAYS AFTER THE DATE OF SERVICE OF A COPY OF THIS NOTICE ON THEM.

All other creditors of the decedent and other persons having claims or demands against decedent’s estate must file their claims with this court WITHIN THREE (3) MONTHS AFTER THE DATE OF THE FIRST PUBLICATION OF THIS NOTICE. ALL CLAIMS NOT SO FILED WITHIN THE TIME PERIODS SET FORTH IN SECTION 733.702 OF

SECOND INSERTION

tive and the personal representative’s attorney are set forth below.

All creditors of the decedent and other persons having claims or demands against decedent’s estate on whom a copy of this notice is required to be served must file their claims with this court WITHIN THE LATER OF THREE (3) MONTHS AFTER THE TIME OF THE FIRST PUBLICATION OF THIS NOTICE OR THIRTY (30) DAYS AFTER THE DATE OF SERVICE OF A COPY OF THIS NOTICE ON THEM.

All other creditors of the decedent and other persons having claims or demands against decedent’s estate must file their claims with this court WITHIN THREE (3) MONTHS AFTER THE DATE OF THE FIRST PUBLICATION OF THIS NOTICE. ALL CLAIMS NOT SO FILED WITHIN THE TIME PERIODS SET FORTH IN SECTION 733.702 OF THE FLORIDA PROBATE CODE WILL BE FOREVER BARRED.

SECOND INSERTION NOTICE TO CREDITORS IN THE CIRCUIT COURT OF THE TWENTIETH JUDICIAL CIRCUIT COLLIER COUNTY, FLORIDA PROBATE DIVISION FILE NO. 2024-1631-CP IN RE: Estate of NANCY L. COOKE, Deceased.

The administration of the estate of NANCY L. COOKE, deceased, whose date of death was March 28, 2024, is pending in the Circuit Court for Collier County, Florida, Probate Division, the address of which is 3315 East Tamiami Trail East, Suite #102, Naples, Florida 34112-5324. The names and addresses of the Personal Representative and the Personal Representative’s attorney are set forth below.

All creditors of the Decedent and other persons having claims or demands against Decedent’s estate on whom a copy of this notice is required to be served must file their claims with this court ON OR BEFORE THE LATER OF 3 MONTHS AFTER THE TIME OF THE FIRST PUBLICATION OF THIS NOTICE OR 30 DAYS AFTER THE DATE OF SERVICE OF A COPY OF THIS NOTICE ON THEM.

All other creditors of the Decedent and other persons having claims or demands against Decedent’s estate must file their claims with this Court WITHIN 3 MONTHS AFTER THE DATE OF THE FIRST PUBLICATION OF THIS NOTICE.

ALL CLAIMS NOT FILED WITHIN THE TIME PERIODS SET FORTH IN FLORIDA STATUTES SECTION 733.702 WILL BE FOREVER BARRED.

NOTWITHSTANDING THE TIME PERIODS SET FORTH ABOVE, ANY CLAIM FILED TWO (2) YEARS OR MORE AFTER THE DECEDENT’S DATE OF DEATH IS BARRED.

The date of first publication of this Notice is June 14, 2024. Personal Representative: WENDY REEVES 1250 Jefferson Avenue Akron, Ohio 44313

Attorney for Personal Representative: Deborah A. Stewart, Esq. Dstewart@dslaw.org

Florida Bar No. 0015301

400 Fifth Avenue South Suite 200 Naples, Florida 34102 (239) 262-7090 June 14, 21, 2024 24-01158C

THE FLORIDA PROBATE CODE WILL BE FOREVER BARRED. NOTWITHSTANDING THE TIME PERIODS SET FORTH ABOVE, ANY CLAIM FILED TWO (2) YEARS OR MORE AFTER THE DECEDENT’S DATE OF DEATH IS BARRED.

The date of first publication of this notice is June 14, 2024. PERSONAL REPRESENTATIVE AND ATTORNEY FOR PERSONAL REPRESENTATIVE

Maximilian J. Schenk, Esq. Florida Bar #229910

SCHENK & ASSOCIATES, PLC 606 Bald Eagle Drive, Suite 612 Marco Island, Florida 34145

Tel. (239) 394-7811

Fax (239) 394-9449

Primary email: mjs@schenklawgroup.com

Secondary email: robert@schenklawgroup.com June 14, 21, 2024 24-01161C

NOTWITHSTANDING THE TIME PERIODS SET FORTH ABOVE, ANY CLAIM FILED TWO (2) YEARS OR MORE AFTER THE DECEDENT’S DATE OF DEATH IS BARRED.

The date of first publication of this notice is June 14, 2024.

PERSONAL REPRESENTATIVE Pamela M. Shniper 1061 Bond Court Marco Island, Florida 34145

ATTORNEY FOR PERSONAL REPRESENTATIVE

Maximilian J. Schenk, Esq. Florida Bar #229910

SCHENK & ASSOCIATES, PLC 606 Bald Eagle Drive, Suite 612

Marco Island, Florida 34145

Tel. (239) 394-7811

Fax (239) 394-9449

Primary email: mjs@schenklawgroup.com

Secondary email: robert@schenklawgroup.com June 14, 21, 2024 24-01162C

FOURTH INSERTION

NOTICE OF ACTION FOR DISSOLUTION OF MARRIAGE (NO CHILD OR FINANCIAL SUPPORT) IN THE CIRCUIT COURT OF THE 20TH JUDICIAL CIRCUIT, IN AND FOR COLLIER COUNTY, FLORIDA Case No. 24DR1123 JASON B. FRANCISCO, Petitioner, and AISHA LERMA RODRIGUEZ, Respondent, TO: AISHA LERMA RODRIGUEZ, UNKNOWN YOU ARE NOTIFIED that an action for dissolution of marriage has been filed against you and that you are required to serve a copy of your written defenses, if any, to it on JASON B. FRANCISCO whose address is 130 N COLLIER BLVD MARCO ISLAND FL on or before July 9, 2024, and file the original with the clerk of this Court at COLLIER COUNTY CLERK P.O. BOX 413044 NAPLES FL 34101 before service on Petitioner or immediately thereafter. If you fail to do so, a default may be entered against you for the relief demanded in the petition.

The action is asking the court to decide how the following real or personal property should be divided: Copies of all court documents in this case, including orders, are available at the Clerk of the Circuit Court’s office. You may review these documents upon request. You must keep the Clerk of the Circuit Court’s office notified of your current address. (You may file Designation of Current Mailing and E-Mail Address, Florida Supreme Court Approved Family Law Form 12.915.) Future papers in this lawsuit will be mailed or e-mailed to the address(es) on record at the clerk’s office. WARNING: Rule 12.285, Florida Family Law Rules of Procedure, requires certain automatic disclosure of documents and information. Failure to comply can result in sanctions, including dismissal or striking of pleadings. Dated: 05/28/2024 CLERK OF THE CIRCUIT COURT (SEAL) By: Richard B. Roy Jr Deputy Clerk May 31; Jun. 7, 14, 21, 2024 24-01084C

THIRD INSERTION

NOTICE OF ACTION FOR DISSOLUTION OF MARRIAGE (NO CHILD OR FINANCIAL SUPPORT) IN THE CIRCUIT COURT OF THE 20TH JUDICIAL CIRCUIT, IN AND FOR COLLIER COUNTY, FLORIDA Case No.: 24-DR-889 Division: FAMILY ANA G RIVES, Petitioner, and GEAN TROCONES DURAN, Respondent, TO: GEAN TROCONES DURAN UNKNOWN YOU ARE NOTIFIED that an action for dissolution of marriage has been filed against you and that you are required to serve a copy of your written defenses, if any, to it on ANA G RIVES, whose address is 1974 45TH TER SW NAPLES FL 34116 on or before 5-24-2024, and file the original with the clerk of this Court at 3315 TAMIAMI TRAIL E STE 102 NAPLES FL 34112 before service on Petitioner or immediately thereafter. If you fail to do so, a default may be entered against you for the relief demanded in the petition. The action is asking the court to decide how the following real or personal

property should be divided: NONE Copies of all court documents in this case, including orders, are available at the Clerk of the Circuit Court’s office. You may review these documents upon request. You must keep the Clerk of the Circuit Court’s office notified of your current address. (You may file Designation of Current Mailing and E-Mail Address, Florida Supreme Court Approved Family Law Form 12.915.) Future papers in this lawsuit will be mailed or e-mailed to the address(es) on record at the clerk’s office.

WARNING: Rule 12.285, Florida Family Law Rules of Procedure, requires certain automatic disclosure of documents and information. Failure to comply can result in sanctions, including dismissal or striking of pleadings. Dated: April 24, 2024 CLERK OF THE CIRCUIT COURT (SEAL) By: Monica Garcia Deputy Clerk IF A NONLAWYER HELPED YOU FILL OUT THIS FORM, HE/SHE MUST FILL IN THE BLANKS BELOW: RAISA M AYALA 741 EVERGLADES BLVD S NAPLES, FL 34117 2395036345 June 7, 14, 21, 28, 2024 24-01104C

THIRD INSERTION

NOTICE OF ACTION –FOR PUBLICATION IN THE CIRCUIT COURT OF THE TWENTIETH JUDICIAL CIRCUIT IN AND FOR COLLIER COUNTY, FLORIDA CIVIL ACTION CASE NO. 2023 CA 3429 KENDALL R. HOLLAND AND KIMBERLY L. HOLLAND, AS TENANTS BY THE ENTIRETY Plaintiff, vs. AMARILIS BENAVIDES; THE UNKNOWN SPOUSE OF AMARILIS BENAVIDES.; THE UNKNOWN HEIRS, DEVISEES, GRANTEES, ASSIGNEES, LIENORS, CREDITORS, TRUSTEES OF AMARILIS BENAVIDES, DECEASED; ANA HERNANDEZ A/K/A ANA LUZ HERNANDEZ; THE UNKNOWN SPOUSE OF ANA HERNANDEZ A/K/A ANA LUZ HERNANDEZ; THE UNKNOWN HEIRS, DEVISEES, GRANTEES, ASSIGNEES, LIENORS, CREDITORS, TRUSTEES OF ANA HERNANDEZ A/K/A ANA LUZ HERNANDEZ, DECEASED; and ANY AND ALL UNKNOWN PARTIES CLAIMING AN INTEREST IN THE SUBJECT PROPERTY. Defendants, TO: AMARILIS BENAVIDES; THE UNKNOWN SPOUSE OF AMARILIS BENAVIDES; THE UNKNOWN HEIRS, DEVISEES, GRANTEES, ASSIGNEES, LIENORS, CREDITORS, TRUSTEES OF AMARILIS BENAVIDES, DECEASED; ANA HERNANDEZ A/K/A ANA LUZ HERNANDEZ; THE UNKNOWN SPOUSE OF ANA

HERNANDEZ A/K/A ANA LUZ HERNANDEZ; THE UNKNOWN HEIRS, DEVISEES, GRANTEES, ASSIGNEES, LIENORS, CREDITORS, TRUSTEES OF ANA HERNANDEZ A/K/A ANA LUZ HERNANDEZ, DECEASED; and ANY AND ALL UNKNOWN PARTIES CLAIMING AN INTEREST IN THE SUBJECT PROPERTY YOU ARE NOTIFIED that an action to foreclose a mortgage to the following real property located in Collier County, Florida: The East 105 feet of the East 180 feet of Tract No. 90 GOLDEN GATE ESTATES, UNIT No. 42, according to the map or plat thereof, as recorded in Plat Book 7, Page(s) 27, of the Public Records of Collier County, Florida has been filed against you and you are required to serve a copy of your written defenses, if any, to it on Christopher J. Horlacher, Esq., the Plaintiff’s attorney, whose address is 2639 Fruitville Rd., Ste. 203, Sarasota, FL 34237, on or before 06/24/2024, and file the original with the Clerk of this Court either before service on the Plaintiff’s attorney

JUNE 21 - JUNE 27, 2024 BUSINESS OBSERVER COLLIER COUNTY 20  --- ACTIONS ---
or immediately thereafter; otherwise a default will be entered against you for the relief demanded in the complaint or petition. DATED on 06/03/2024 CRYSTAL K. KINZEL Clerk of the Court (SEAL) BY: Soraya Diaz As Deputy Clerk Christopher J.
Horlacher, Esq., the Plaintiff’s attorney, 2639 Fruitville Rd., Ste. 203, Sarasota, FL 34237 June 7, 14, 21, 28, 2024 24-01135C
Friday Publication SARASOTA • MANATEE HILLSBOROUGH • PASCO PINELLAS • POLK • LEE COLLIER •CHARLOTTE LV20906_V9

SECOND INSERTION

NOTICE TO CREDITORS IN THE CIRCUIT COURT FOR COLLIER COUNTY, FLORIDA PROBATE DIVISION

File:11-2024-CP-000337-0001-XX

IN RE: ESTATE OF JOAN H. TAYLOR, Deceased.

The administration of the estate of JOAN H. TAYLOR, deceased, whose date of death was July 30, 2023, is pending in the Circuit Court for Collier County, Florida, Probate Division, the address of which is 3315 Tamiami Trail East, Suite 102, Naples, FL 34112. The name and address of the Ancillary Personal Representative and the Ancillary Personal Representative’s attorney is set forth below.

All creditors of the decedent and other persons having claims or demands against decedent’s estate on whom a copy of this notice is required to be served must file their claims with this Court WITHIN THE LATER OF 3 MONTHS AFTER THE TIME OF THE FIRST PUBLICATION OF THIS NOTICE OR 30 DAYS AFTER THE DATE OF SERVICE OF A COPY OF THIS NOTICE ON THEM.

All other creditors of the decedent and other persons having claims or demands against decedent’s estate must file their claims with this court WITHIN 3 MONTHS AFTER THE DATE OF THE FIRST PUBLICATION OF THIS NOTICE.

ALL CLAIMS NOT FILED WITHIN THE TIME PERIODS SET FORTH IN SECTION 733.702 OF THE FLORIDA PROBATE CODE WILL BE FOREVER BARRED.

NOTWITHSTANDING THE TIME PERIODS SET FORTH ABOVE, ANY CLAIM FILED TWO (2) YEARS OR MORE AFTER THE DECEDENT’S

DATE OF DEATH IS BARRED.

The date of first publication of this notice is June 14, 2024.

Ancillary Personal Representative:

/s/ WENDY T. PETERS 6 Angel Trace Ellington, CT 06029

Attorney for Ancillary Personal Representative:

/s/ Daniel C. Parri

DANIEL C. PARRI, ESQUIRE

Attorney for Ancillary Personal Rep.

Florida Bar No.: 036325

1217 Ponce de Leon Blvd. Clearwater, FL 33756

Telephone: (727) 586-4224

Fax: (727) 585-4452

E-Mail: dan@parrilaw.com

Secondary E-Mail: jill@parrilaw.com

June 14, 21, 2024 24-01175C

SECOND INSERTION

NOTICE TO CREDITORS IN THE CIRCUIT COURT FOR COLLIER COUNTY, FLORIDA

PROBATE DIVISION

File No. 2024-CP-001350 Division Probate IN RE: ESTATE OF JOANNE G. CURLEE, Deceased.

The administration of the estate of Joanne G. Curlee, deceased, whose date of death was February 12, 2024, is pending in the Circuit Court for Collier County, Florida, Probate Division, the address of which is 3315 Tamiami Trail East, Ste. 102, Naples, Florida 34112. The names and addresses of the personal representatives and the personal representatives’ attorney are set forth below. All creditors of the decedent and other persons having claims or demands against decedent’s estate on whom a copy of this notice is required to be served must file their claims with this court ON OR BEFORE THE LATER OF 3 MONTHS AFTER THE TIME OF THE FIRST PUBLICATION OF THIS NOTICE OR 30 DAYS AFTER THE DATE OF SERVICE OF A COPY OF THIS NOTICE ON THEM.

All other creditors of the decedent and other persons having claims or demands against decedent’s estate must file their claims with this court WITHIN 3 MONTHS AFTER THE DATE OF THE FIRST PUBLICATION OF THIS NOTICE. ALL CLAIMS NOT FILED WITHIN THE TIME PERIODS SET FORTH IN FLORIDA STATUTES SECTION 733.702 WILL BE FOREVER BARRED. NOTWITHSTANDING THE TIME

PERIODS SET FORTH ABOVE, ANY

CLAIM FILED TWO (2) YEARS OR MORE AFTER THE DECEDENT’S DATE OF DEATH IS BARRED. The date of first publication of this notice is June 14, 2024.

Personal Representatives:

Elise Curlee Burfield

2991 Gardens Blvd.

Naples, FL 34105

Peyton Curlee Griffin

6400 N. Aspen Drive Jackson, WY 83001

Attorneys for Personal

Representatives: DUNWODY WHITE & LANDON.

P.A.

Daniel K. Capes, Esq.

Florida Bar Number: 106429

4001 Tamiami Trail North, Suite 200

Naples, FL 34103

Telephone: (239) 263-5885

Fax: (239) 262-1442

June 14, 21, 2024 24-01192C

SECOND INSERTION

NOTICE TO CREDITORS IN THE CIRCUIT COURT FOR COLLIER COUNTY, FLORIDA PROBATE DIVISION File No. 2024-CP-1720 Division: Probate IN RE: ESTATE OF JULIA T. D’ANTONIO

a/k/a JULIA D’ANTONIO

Deceased. The administration of the estate of Julia T. D’Antonio, deceased, whose date of death was April 14, 2024, is pending in the Circuit Court for Collier County, Florida, Probate Division, the address of which is 3315 E Tamiami Trail, Naples, FL 34112. The names and addresses of the personal representative and the personal representative’s attorney are set forth below.

All creditors of the decedent and other persons having claims or demands against decedent’s estate on whom a copy of this notice is required to be served must file their claims with this court ON OR BEFORE THE LATER OF 3 MONTHS AFTER THE TIME OF THE FIRST PUBLICATION OF THIS NOTICE OR 30 DAYS AFTER THE DATE OF SERVICE OF A COPY OF THIS NOTICE ON THEM.

All other creditors of the decedent and other persons having claims or demands against decedent’s estate must file their claims with this court WITHIN 3 MONTHS AFTER THE DATE OF THE FIRST PUBLICATION OF THIS NOTICE.

ALL CLAIMS NOT FILED WITHIN THE TIME PERIODS SET FORTH IN FLORIDA STATUTES SECTION 733.702 WILL BE FOREVER BARRED.

NOTWITHSTANDING THE TIME PERIODS SET FORTH ABOVE, ANY CLAIM FILED TWO (2) YEARS OR MORE AFTER THE DECEDENT’S DATE OF DEATH IS BARRED.

The date of first publication of this notice is June 14, 2024.

Personal Representative: Yvonne C. D’Antonio 3895 Valentia Way Naples, Florida 34119

Attorney for Personal Representative: FRANKLIN KARIBJANIAN & LAW

PLLC 999 Vanderbilt Beach Road, Suite 200 Naples, Florida 34108

Telephone: 239-202-0416

Fax: 202-463-3060

Lester B. Law, Esq. Florida Bar No. 0993300

Email: lblaw@fkl-law.com

Secondary Email: sfoster@fkl-law.com

June 14, 21, 2024 24-01176C

SECOND INSERTION NOTICE TO CREDITORS IN THE CIRCUIT COURT FOR COLLIER COUNTY, FLORIDA PROBATE DIVISION FILE NO.: 24-CP-1239 IN RE: ESTATE OF NORDAL MANTARAS McWETHY, Deceased. The administration of the estate of NORDAL MANTARAS McWETHY, deceased, whose date of death was January 22, 2023, is pending in the Circuit Court for Collier County, Florida, Probate Division, the address of which is 3315 Tamiami Trail East, Naples, FL 34112. The names and addresses of the personal representative and the personal representative’s attorney are set forth below. All creditors of the Decedent and other persons having claims or demands against Decedent’s estate on whom a copy of this notice is required to be served must file their claims with this court ON OR BEFORE THE LATER OF 3 MONTHS AFTER THE TIME OF THE FIRST PUBLICATION OF THIS NOTICE OR 30 DAYS AFTER THE DATE OF SERVICE OF A COPY OF THIS NOTICE ON THEM.

All other creditors of the Decedent and other persons having claims or demands against Decedent’s estate must file their claims with this court WITHIN 3 MONTHS AFTER THE DATE OF THE FIRST PUBLICATION OF THIS NOTICE.

ALL CLAIMS NOT FILED WITHIN THE TIME PERIODS SET FORTH IN FLORIDA STATUTES SECTION 733.702 WILL BE FOREVER BARRED.

NOTWITHSTANDING THE TIME PERIODS SET FORTH ABOVE, ANY CLAIM FILED TWO (2) YEARS OR MORE AFTER THE DECEDENT’S DATE OF DEATH IS BARRED. The date of first publication of this notice is June 14, 2024.

Personal Representative: JAMES ANDREW McWETHY c/o Alison K. Douglas, Esq.

CUMMINGS & LOCKWOOD LLC

3001 Tamiami Trail N. Suite 400 Naples, FL 34103

Attorney for Personal Representative: ALISON K. DOUGLAS, ESQ. E-mail Addresses: adouglas@cl-law.com; jpoklemba@cl-law.com Florida Bar No. 0899003

CUMMINGS & LOCKWOOD LLC

3001 Tamiami Trail N., Suite 400 Naples, FL 34103

Telephone: (239) 262-8311

7745013.1.docx June 14, 21, 2024 24-01188C

SECOND INSERTION

NOTICE TO CREDITORS IN THE CIRCUIT COURT FOR COLLIER COUNTY, FLORIDA PROBATE DIVISION

File No. 2024-CP-1574

Division 02 IN RE: ESTATE OF GLENNA L. THOMPSON Deceased.

The administration of the estate of Glenna L. Thompson, deceased, whose date of death was April 1, 2024, is pending in the Circuit Court for Collier County, Florida, Probate Division, the address of which is 3315 Tamiami Trail E, Naples, FL 34112-5324. The names and addresses of the personal representative and the personal representative’s attorney are set forth below.

All creditors of the decedent and other persons having claims or demands against decedent’s estate on whom a copy of this notice is required to be served must file their claims with this court ON OR BEFORE THE LATER OF 3 MONTHS AFTER THE TIME OF THE FIRST PUBLICATION OF THIS NOTICE OR 30 DAYS AFTER THE DATE OF SERVICE OF A COPY OF THIS NOTICE ON THEM.

All other creditors of the decedent and other persons having claims or demands against decedent’s estate must file their claims with this court WITHIN 3 MONTHS AFTER THE DATE OF THE FIRST PUBLICATION OF THIS NOTICE.

ALL CLAIMS NOT FILED WITHIN THE TIME PERIODS SET FORTH IN FLORIDA STATUTES SECTION 733.702 WILL BE FOREVER BARRED.

NOTWITHSTANDING THE TIME PERIODS SET FORTH ABOVE, ANY CLAIM FILED TWO (2) YEARS OR MORE AFTER THE DECEDENT’S DATE OF DEATH IS BARRED.

The date of first publication of this notice is June 14, 2024.

Personal Representative: Jeffrey P. Hall 840 Myrtle Terrace Naples, FL 34103

Attorney for Personal Representative: Amanda Leigh Goodman

Attorney Florida Bar Number: 105169 Goodman Breen 3838 Tamiami Trail N, Suite 300 Naples, FL 34103

Telephone: (239) 403-3000

Fax: (239) 403-0010

E-Mail: agoodman@goodmanbreen.com

Secondary E-Mail: gbprobate@gmail.com

June 14, 21, 2024 24-01164C

SECOND INSERTION

NOTICE TO CREDITORS IN THE CIRCUIT COURT FOR COLLIER COUNTY, FLORIDA PROBATE DIVISION File No. 24-CP-001598

Division: Judge Brown IN RE: ESTATE OF STEPHEN P. HOKANSON Deceased.

The administration of the estate of Stephen P. Hokanson, deceased, whose date of death was May 3, 2023, is pending in the Circuit Court for Collier County, Florida, Probate Division, the address of which is 3315 Tamiami Trail E., Suite 102, Naples, Florida 34112.

The names and addresses of the personal representative and the personal representative’s attorney are set forth below.

All creditors of the decedent and other persons having claims or demands against decedent’s estate on whom a copy of this notice is required to be served must file their claims with this court ON OR BEFORE THE LATER OF 3 MONTHS AFTER THE TIME OF THE FIRST PUBLICATION OF THIS NOTICE OR 30 DAYS AFTER THE DATE OF SERVICE OF A COPY OF THIS NOTICE ON THEM.

All other creditors of the decedent and other persons having claims or demands against decedent’s estate must file their claims with this court WITHIN 3 MONTHS AFTER THE DATE OF THE FIRST PUBLICATION OF THIS NOTICE.

ALL CLAIMS NOT FILED WITHIN THE TIME PERIODS SET FORTH IN FLORIDA STATUTES SECTION 733.702 WILL BE FOREVER BARRED. NOTWITHSTANDING THE TIME PERIODS SET FORTH ABOVE, ANY CLAIM FILED TWO (2) YEARS OR MORE AFTER THE DECEDENT’S DATE OF DEATH IS BARRED.

The date of first publication of this notice is June 14, 2024.

Personal Representative: Kimberly Hokanson 2809 Silverleaf Lane Naples, Florida 34105

Attorney for Personal Representative: GEORGE A. WILSON, ESQ.

Florida Bar No. 332127

Wilson and Johnson, P.A. 2425 Tamiami Trail N., Suite 211 Naples, Florida 34103

Telephone: 239-436-1500

E-mail Addresses: gawilson@naplesestatelaw.com, erlebin@naplesestatelaw.com

SECOND INSERTION NOTICE TO CREDITORS IN THE CIRCUIT COURT FOR COLLIER COUNTY, FLORIDA PROBATE DIVISION File No. 11-2024-CP-001606-0001-XX IN RE: ESTATE OF HARRY DONALD GUTTERIDGE A/K/A H. DONALD GUTTERIDGE Deceased.

The administration of the estate of Harry Donald Gutteridge a/k/a H. Donald Gutteridge, deceased, whose date of death was November 2, 2023, is pending in the Circuit Court for Collier County, Florida, Probate Division, the address of which is 3315 Tamiami Trail E, Naples, FL 34112. The names and addresses of the personal representative and the personal representative’s attorney are set forth below.

All creditors of the decedent and other persons having claims or demands against decedent’s estate on whom a copy of this notice is required to be served must file their claims with this court ON OR BEFORE THE LATER OF 3 MONTHS AFTER THE TIME OF THE FIRST PUBLICATION OF THIS NOTICE OR 30 DAYS AFTER THE DATE OF SERVICE OF A COPY OF THIS NOTICE ON THEM.

All other creditors of the decedent and other persons having claims or demands against decedent’s estate must file their claims with this court WITHIN 3 MONTHS AFTER THE DATE OF THE FIRST PUBLICATION OF THIS NOTICE.

ALL CLAIMS NOT FILED WITHIN THE TIME PERIODS SET FORTH IN FLORIDA STATUTES SECTION 733.702 WILL BE FOREVER BARRED.

NOTWITHSTANDING THE TIME PERIODS SET FORTH ABOVE, ANY CLAIM FILED TWO (2) YEARS OR MORE AFTER THE DECEDENT’S DATE OF DEATH IS BARRED.

The date of first publication of this notice is June 14, 2024.

Personal Representative: John H. Macfarlane 176 Cortleigh Blvd. Toronto, ON Canada M5N IP5

Attorney for Personal Representative: /s/ Monique Lavender Greenberg Monique Lavender Greenberg

Attorney

Florida Bar Number: 83834

2525 Ponce de Leon Blvd Suite 300 Coral Gables, FL 33134

Telephone: (786) 832-4694

Fax: (786) 249-7096

E-Mail: monique@lglawmiami.com

Secondary E-Mail: office@lglawmiami.com June 14, 21, 2024 24-01163C

SECOND INSERTION NOTICE TO CREDITORS IN THE CIRCUIT COURT FOR COLLIER COUNTY, FLORIDA PROBATE DIVISION File No. 11-2024-CP-001662-0001-01 IN RE: ESTATE OF ELIZABETH H. HARRIS Deceased.

The administration of the estate of ELIZABETH H. HARRIS, deceased, whose date of death was May 5, 2024, is pending in the Circuit Court for Collier County, Florida, Probate Division, the address of which is 3315 Tamiami Trail East, Suite 102, Naples 34112. The names and addresses of the personal representative and the personal representative’s attorney are set forth below.

All creditors of the decedent and other persons having claims or demands against decedent’s estate on whom a copy of this notice is required to be served must file their claims with this court ON OR BEFORE THE LATER OF 3 MONTHS AFTER THE TIME OF THE FIRST PUBLICATION OF THIS NOTICE OR 30 DAYS AFTER THE DATE OF SERVICE OF A COPY OF THIS NOTICE ON THEM.

All other creditors of the decedent and other persons having claims or demands against decedent’s estate must file their claims with this court WITHIN 3 MONTHS AFTER THE DATE OF THE FIRST PUBLICATION OF THIS NOTICE.

ALL CLAIMS NOT FILED WITHIN THE TIME PERIODS SET FORTH IN FLORIDA STATUTES SECTION 733.702 WILL BE FOREVER BARRED.

NOTWITHSTANDING THE TIME PERIODS SET FORTH ABOVE, ANY CLAIM FILED TWO (2) YEARS OR MORE AFTER THE DECEDENT’S DATE OF DEATH IS BARRED.

The date of first publication of this notice is June 14, 2024.

Personal Representative: ALAN BRIAN HARRIS, JR. 19 Palmer Lane Riverside, Connecticut 06878 Attorney for Personal Representative: GUTMAN SKRANDE E-mail Addresses: gskrande@duanemorris.com, cdmorris@duanemorris.com Florida Bar No. 96135 DUANE MORRIS LLP 201 S. Biscayne Boulevard, Suite 3400 Miami, Florida 33131 Telephone: 305-960-2233 DM2\19622582.1 June 14, 21, 2024 24-01171C

SECOND INSERTION

NOTICE TO CREDITORS IN THE CIRCUIT COURT OF THE TWENTIETH JUDICIAL CIRCUIT IN AND FOR COLLIER COUNTY, FL PROBATE DIVISION FILE NO. 2024-CP-001775 JUDGE: BROWN IN RE: ESTATE OF THOMAS E. MESSMORE, DECEASED.

The administration of the Estate of Thomas E. Messmore (the “Decedent”), whose date of death was March 30, 2024, is pending in the Circuit Court for Collier County, Florida, Probate Division, the address of which is: Clerk of the Circuit Court, Collier County Courthouse, Probate Division, 3301 Tamiami Trail East, Suite 102, Naples, FL 341013044. The names and addresses of the personal representative and the personal representative’s attorney are set forth below.

All creditors of the Decedent and other persons having claims or demands against Decedent’s Estate on whom a copy of this notice is required to be served must file their claims with this court ON OR BEFORE THE LATER OF 3 MONTHS AFTER THE TIME OF THE FIRST PUBLICATION OF THIS NOTICE OR 30 DAYS AFTER THE DATE OF SERVICE OF A COPY OF THIS NOTICE ON THEM.

All other creditors of the Decedent and other persons having claims or demands against Decedent’s Estate must file their claims with this Court WITHIN 3 MONTHS AFTER THE DATE OF THE FIRST PUBLICATION OF THIS NOTICE.

ALL CLAIMS NOT FILED WITHIN THE TIME PERIODS SET FORTH IN FLORIDA STATUTES SECTION 733.702 WILL BE FOREVER BARRED.

NOTWITHSTANDING THE TIME PERIODS SET FORTH ABOVE, ANY CLAIM FILED TWO (2) YEARS OR MORE AFTER THE DECEDENT’S DATE OF DEATH IS BARRED. The date of first publication of this notice is June 14, 2024. Lauren B. Messmore 169 Grove Street Wellesley, MA 02482

Personal Representative

Kimberley A. Dillon, Esq. Florida Bar No. 14160

Kimberley.Dillon@quarles.com

Rachel L. Loiacono, Esq. Florida Bar No. 1044073

Rachel.Loiacono@quarles.com 1395 Panther Lane, Suite 300 Naples, FL 34109

Phone: 239-262-5959

Facsimile: 239-434-4999

Attorneys for Personal Representative QB\81472621.1

June 14, 21, 2024 24-01167C

SECOND INSERTION

NOTICE TO CREDITORS IN THE CIRCUIT COURT FOR COLLIER COUNTY, FLORIDA PROBATE DIVISION File No. 24-CP-1096 Division Probate IN RE: ESTATE OF RD KRATOVIL Deceased.

The administration of the estate of RD Kratovil, deceased, whose date of death was February 15, 2024, is pending in the Circuit Court for Collier County, Florida, Probate Division, the address of which is 3315 Tamiami Trail East, Naples, Florida 34108. The names and addresses of the personal representative and the personal representative’s attorney are set forth below.

All creditors of the decedent and other persons having claims or demands against decedent’s estate on whom a copy of this notice is required to be served must file their claims with this court ON OR BEFORE THE LATER OF 3 MONTHS AFTER THE TIME OF THE FIRST PUBLICATION OF THIS NOTICE OR 30 DAYS AFTER THE DATE OF SERVICE OF A COPY OF THIS NOTICE ON THEM. All other creditors of the decedent and other persons having claims or demands against decedent’s estate must file their claims with this court WITHIN 3 MONTHS AFTER THE DATE OF THE FIRST PUBLICATION OF THIS NOTICE.

ALL CLAIMS NOT FILED WITHIN THE TIME PERIODS SET FORTH IN FLORIDA STATUTES SECTION 733.702 WILL BE FOREVER BARRED.

NOTWITHSTANDING THE TIME PERIODS SET FORTH ABOVE, ANY

CLAIM FILED TWO (2) YEARS OR MORE AFTER THE DECEDENT’S DATE OF DEATH IS BARRED.

The date of first publication of this notice is June 14, 2024.

Personal Representative: Margaret Lee Kratovil 5881 Champion Lane Ave Maria, Florida 34142

Attorney for Personal Representative: Kent A. Skrivan E-mail Addresses: kent@sgnapleslaw.com

Florida Bar No. 0893552

Skrivan & Gibbs, PLLC 1110 Pine Ridge Road, Suite 300 Naples, Florida 34108

Telephone: (239) 597-4500 June 14, 21, 2024 24-01190C

SECOND INSERTION NOTICE TO CREDITORS IN THE CIRCUIT COURT FOR COLLIER COUNTY, FLORIDA PROBATE DIVISION FILE NO.: 24-CP-1491 IN RE: ESTATE OF BERNARD J. REDMOND a/k/a BERNARD JOSEPH REDMOND, Deceased. The administration of the estate of BERNARD J. REDMOND a/k/a BERNARD JOSEPH REDMOND, deceased, whose date of death was February 3, 2024, is pending in the Circuit Court for Collier County, Florida, Probate Division, the address of which is 3315 Tamiami Trail East, Naples, FL 34112. The names and addresses of the personal representatives and the personal representatives’ attorney are set forth below. All creditors of the decedent and other persons having claims or demands against decedent’s estate on whom a copy of this notice is required to be served must file their claims with this court ON OR BEFORE THE LATER OF 3 MONTHS AFTER THE TIME OF THE FIRST PUBLICATION OF THIS NOTICE OR 30 DAYS AFTER THE DATE OF SERVICE OF A COPY OF THIS NOTICE ON THEM. All other creditors of the decedent and other persons having claims or demands against decedent’s estate must file their claims with this court WITHIN 3 MONTHS AFTER THE DATE OF THE FIRST PUBLICATION OF THIS NOTICE. ALL CLAIMS NOT FILED WITHIN THE TIME PERIODS SET FORTH IN FLORIDA STATUTES SECTION 733.702 WILL BE FOREVER BARRED. NOTWITHSTANDING THE TIME PERIODS SET FORTH ABOVE, ANY CLAIM FILED TWO (2) YEARS OR MORE AFTER THE DECEDENT’S DATE OF DEATH IS BARRED. The date of first publication of this notice is June 14, 2024. Personal Representatives: KEVIN REDMOND KATHLEEN CALDWELL c/o Alison K. Douglas, Esq. CUMMINGS & LOCKWOOD LLC

3001 Tamiami Trail North, Suite 400 Naples, FL 34103 Attorney for Personal Representatives: ALISON K. DOUGLAS, ESQ. E-mail Addresses: adouglas@cl-law.com; jpoklemba@cl-law.com Florida Bar No. 0899003 CUMMINGS & LOCKWOOD LLC

3001 Tamiami Trail North, Suite 400 Naples, FL 34103 Telephone: (239) 262-8311 8250089.1.docx June 14, 21, 2024 24-01189C

SECOND INSERTION NOTICE TO CREDITORS IN THE TWENTIETH JUDICIAL CIRCUIT COURT FOR COLLIER COUNTY, FLORIDA Probate Division File No. 24-CP-1381 IN RE: ESTATE OF SHIRLEY A. IVERSON Deceased. The administration of the estate of Shirley A. Iverson, deceased, whose date of death was March 3, 2024, is pending in the Circuit Court for Collier County, Florida, Probate Division, the address of which is 3315 Tamiami Trail East, Suite 102, Naples, Florida 34112. The names and addresses of the personal representative and the personal representative’s attorney are set forth below. All creditors of the decedent and other persons having claims or demands against decedent’s estate on whom a copy of this notice is required to be served must file their claims with this court ON OR BEFORE THE LATER OF 3 MONTHS AFTER THE TIME OF THE FIRST PUBLICATION OF THIS NOTICE OR 30 DAYS AFTER THE DATE OF SERVICE OF A COPY OF THIS NOTICE ON THEM. All other creditors of the decedent and other persons having claims or demands against decedent’s estate must file their claims with this court WITHIN 3 MONTHS AFTER THE DATE OF THE FIRST PUBLICATION OF THIS NOTICE. ALL CLAIMS NOT FILED WITHIN THE TIME PERIODS SET FORTH IN FLORIDA STATUTES SECTION 733.702 WILL BE FOREVER BARRED. NOTWITHSTANDING THE TIME PERIODS SET FORTH ABOVE, ANY CLAIM

June 14, 21, 2024 24-01160C

JUNE 21 - JUNE 27, 2024 BusinessObserverFL.com COLLIER COUNTY   21
The date of first publication of this notice is June 14, 2024. Eric C. Iverson Personal Representative 609 Mary Knoll Lane Watertown, Wisconsin 53098 Daniel D. Peck, Esq. Florida Bar No. 169177 Attorney for Petitioner PECK & PECK, P.A. 5200 Tamiami Trail North, Suite 101 Naples, Florida 34103 June 14, 21, 2024 24-01170C
FILED TWO (2) YEARS OR MORE AFTER THE DECEDENT’S DATE OF DEATH IS BARRED.
--- ESTATE ---

NOTICE TO CREDITORS

IN THE CIRCUIT COURT OF THE TWENTIETH JUDICIAL CIRCUIT

IN AND FOR COLLIER COUNTY, FL

PROBATE DIVISION

FILE NO. 2023-CP-003654

JUDGE: MCGOWAN

IN RE: ESTATE OF TOM L.R. BROWN, also known as TOM LEE ROBERTSON BROWN DECEASED.

The administration of the Estate of TOM L.R. BROWN, also known as TOM LEE ROBERTSON BROWN (the “Decedent”), whose date of death was November 14, 2023, is pending in the Circuit Court for Collier County, Florida, Probate Division, the address of which is Clerk of the Circuit Court, Collier County Courthouse, Probate Division, 3301 Tamiami Trail East, Suite 102, Naples, FL 34101-3044. The names and addresses of the personal representatives and the personal representatives’ attorney are set forth below.

All creditors of the Decedent and other persons having claims or demands against Decedent’s estate on whom a copy of this notice is required to be served must file their claims with this Court ON OR BEFORE THE LATER OF 3 MONTHS AFTER THE TIME OF THE FIRST PUBLICATION OF THIS NOTICE OR 30 DAYS AFTER THE DATE OF SERVICE OF A COPY OF THIS NOTICE ON THEM.

All other creditors of the Decedent and other persons having claims or demands against Decedent’s estate must file their claims with this Court WITH-

NOTICE TO CREDITORS IN THE CIRCUIT COURT OF THE TWENTIETH JUDICIAL CIRCUIT IN AND FOR COLLIER COUNTY, FLORIDA

PROBATE DIVISION CASE NO.: 24-CP-1768 IN RE: THE ESTATE OF NANCY PEPE

Deceased.

The administration of the estate of NANCY PEPE, deceased, whose date of death was November 13, 2023, is pending in the Circuit Court for Collier County, Florida, Probate Division, the address of which is 3315 Tamiami Trail East, Suite 102, Naples, FL 34112. The names and addresses of the personal representative and the personal representative’s attorney are set forth below. All creditors of the decedent and other persons having claims or demands against decedent’s estate on whom a copy of this notice is required to be served must file their claims with this court ON OR BEFORE THE LATER OF 3 MONTHS AFTER THE TIME OF THE FIRST PUBLICATION OF THIS NOTICE OR 30 DAYS AFTER THE DATE OF SERVICE OF A COPY OF THIS NOTICE ON THEM. All other creditors of the decedent and other persons having claims or demands against decedent’s estate must file their claims with this court WITHIN 3 MONTHS AFTER THE DATE OF THE FIRST PUBLICATION OF THIS

NOTICE TO CREDITORS

(Summary Administration) IN THE CIRCUIT COURT FOR COLLIER COUNTY, FLORIDA

PROBATE DIVISION File No. 24-CP-001481 IN RE: ESTATE OF BARBARA M. ROSENBACH Deceased.

TO ALL PERSONS HAVING CLAIMS OR DEMANDS AGAINST THE ABOVE ESTATE:

You are hereby notified that an Order of Summary Administration has been entered in the estate of BARBARA M. ROSENBACH, deceased, File Number 24-CP-001481; by the Circuit Court for Collier County, Florida, Probate Division, the address of which is 3315 Tamiami Trail East, Suite #102, Naples, FL 34112-5324; that the decedent’s date of death was March 20, 2024; that the total value of the estate is $17,000.00, and that the names and addresses to those to whom it has been assigned by such order are:

Creditors: NONE

Beneficiaries:

DEBRA SEEGER

EDWARD K. WRIGHT, JR.

CAROL KLINE

JEFFERY D. WRIGHT

c/o A. ERIC ANDERSON, P.A. 350 Fifth Avenue South, Suite 200 Naples, Florida 34102 ALL INTERESTED PERSONS ARE

IN 3 MONTHS AFTER THE DATE OF THE FIRST PUBLICATION OF THIS NOTICE.

ALL CLAIMS NOT FILED WITHIN THE TIME PERIODS SET FORTH IN FLORIDA STATUTES SECTION 733.702 WILL BE FOREVER BARRED. NOTWITHSTANDING THE TIME PERIODS SET FORTH ABOVE, ANY CLAIM FILED TWO (2) YEARS OR MORE AFTER THE DECEDENT’S DATE OF DEATH IS BARRED.

The date of first publication of this notice is June 14, 2024.

Personal Representatives: Pearl Infantine Brown 2895 Siena Lakes Circle, #5431 Naples, FL 34109 Dorothy M. Loomis 284 Monticello Drive Chagrin Falls, OH 44022

Attorney for Personal Representatives: Kimberley A. Dillon, Esq. Florida Bar Number: 14160 Rachel L. Loiacono, Esq. Florida Bar Number 1044073 QUARLES & BRADY LLP 1395 Panther Lane, Suite 300 Naples, Florida 34109 Telephone: (239) 262-5959/ Fax: (239) 434-4999

E-Mail: kimberley.dillon@quarles.com

Secondary E-Mail: rachel.loiacono@quarles.com Alternate E-Mail: debra.seymour@quarles.com

Attorneys for the Personal Representatives June 14, 21, 2024 24-01172C

NOTICE. ALL CLAIMS NOT FILED WITHIN THE TIME PERIODS SET FORTH IN FLORIDA STATUTES SECTION 733.702 WILL BE FOREVER BARRED. NOTWITHSTANDING THE TIME PERIODS SET FORTH ABOVE, ANY CLAIM FILED TWO (2) YEARS OR MORE AFTER THE DECEDENT’S DATE OF DEATH IS BARRED.

The date of first publication of this notice is June 14, 2024.

Personal Representative: DEBORAH MAYER 305 Passaic Avenue Stirling, NJ 07980

Attorney for Personal Representative: LISA B. GODDY Florida Bar No. 0507075 Email: lgoddy@wga-law.com

Alternate Email: pleadings@wga-law.com

EDWARD E. WOLLMAN Florida Bar No. 0618640

Email: ewollman@wga-law.com

Alternate Email: pleadings@wga-law.com

Attorneys for Personal Representative WOLLMAN, GEHRKE & ASSOCIATES, PA 2235 Venetian Court, Suite 5 Naples, FL 34109 Telephone: (239)435-1533 Facsimile: (239)435-1433 June 14, 21, 2024 24-01169C

NOTIFIED THAT: All creditors of the estate of the decedent and persons having claims or demands against the estate of the decedent other than those for whom provision for full payment was made in the Order of Summary Administration must file their claims with this court WITHIN THE TIME PERIODS SET FORTH IN SECTION 733.702 OF THE FLORIDA PROBATE CODE. ALL CLAIMS AND DEMANDS NOT SO FILED WILL BE FOREVER BARRED.

NOTWITHSTANDING ANY OTHER APPLICABLE TIME PERIOD, ANY CLAIM FILED TWO (2) YEARS OR MORE AFTER THE DECEDENT’S DATE OF DEATH IS BARRED.

The date of first publication of this Notice is June 14, 2024. Person Giving Notice: JEFFERY D. WRIGHT c/o A. ERIC ANDERSON, P.A. 350 Fifth Avenue South, Suite 200 Naples, Florida 34102

Attorney for Person Giving Notice:

A. ERIC ANDERSON

Attorney for Petitioner Florida Bar No. 0322865

A. ERIC ANDERSON, P.A. 350 Fifth Avenue South, Suite 200 Naples, Florida 34102

Telephone: (239) 262-7748

Facsimile: (239) 262-7144 June 14, 21, 2024 24-01165C

NOTICE TO CREDITORS IN THE CIRCUIT COURT OF THE TWENTIETH JUDICIAL CIRCUIT IN AND FOR COLLIER COUNTY, FLORIDA

PROBATE DIVISION CASE NO.: 24-CP-1686

IN RE: THE ESTATE OF DON Q. PAULLIN Deceased.

The administration of the estate of DON. Q. PAULLIN, deceased, whose date of death was February 3, 2024, is pending in the Circuit Court for Collier County, Florida, Probate Division, the address of which is 3315 Tamiami Trail East, Suite 102, Naples, FL 34112. The names and addresses of the personal representative and the personal representative’s attorney are set forth below. All creditors of the decedent and other persons having claims or demands against decedent’s estate on whom a copy of this notice is required to be served must file their claims with this court ON OR BEFORE THE LATER OF 3 MONTHS AFTER THE TIME OF THE FIRST PUBLICATION OF THIS NOTICE OR 30 DAYS AFTER THE DATE OF SERVICE OF A COPY OF THIS NOTICE ON THEM.

All other creditors of the decedent and other persons having claims or demands against decedent’s estate must file their claims with this court WITHIN 3 MONTHS AFTER THE DATE OF THE FIRST PUBLICATION OF THIS

NOTICE TO CREDITORS IN THE CIRCUIT COURT OF THE 20th JUDICIAL CIRCUIT IN AND FOR COLLIER COUNTY, FLORIDA CASE NO: 11-2024-CP-000988

PROBATE DIVISION : C. H. Brown IN RE: ESTATE OF EVA RECHCIGL, Deceased.

The administration of the estate of Eva Rechcigl, deceased, File Number 11-2024-CP-000988, is pending in the Circuit Court for Collier County, Florida, Probate Division, the address of which is 3315 Tamiami Trail East, Ste 102, Naples, FL 34112-5324. The names and addresses of the personal representative and the personal representative’s attorney are set forth below.

All creditors of the decedent and other persons having claims or demands against decedent’s estate, including unmatured, contingent or unliquidated claims, on whom a copy of this notice is served must file their claims with this court WITHIN THE LATER OF 3 MONTHS AFTER THE DATE OF

NOTICE OF RESCHEDULED SALE

PURSUANT TO CHAPTER 45 IN THE CIRCUIT COURT OF THE TWENTIETH JUDICIAL CIRCUIT IN AND FOR COLLIER COUNTY, FLORIDA

CIVIL ACTION

CASE NO.: 11-2019-CA-003166

WELLS FARGO BANK, N.A., AS TRUSTEE FOR BANC OF AMERICA ALTERNATIVE LOAN

TRUST 2005-10 MORTGAGE PASS-THROUGH CERTIFICATES, SERIES 2005-10, Plaintiff, vs. MASON ARMSTRONG, A MINOR, et al, Defendant(s). NOTICE IS HEREBY GIVEN Pursuant to an Order Rescheduling Foreclosure Sale dated June 4, 2024, and entered in Case No. 11-2019-CA-003166 of the Circuit Court of the Twentieth Judicial Circuit in and for Collier County, Florida in which WELLS FARGO BANK, N.A., AS TRUSTEE FOR BANC OF AMERICA ALTERNATIVE LOAN TRUST 2005-10 MORTGAGE PASSTHROUGH CERTIFICATES, SERIES 2005-10, is the Plaintiff and, Wells Fargo Bank NA Successor By Merger to Wachovia Bank National Association, Mason Armstrong aka Mason Alexander Armstrong, a Minor, Southern Account Services Inc, a dissolved Florida corporation, by and through Anil Poonai, its registered agent, are defendants, the Collier County Clerk of the Circuit Court will sell to the highest and best bidder for cash in/on online at 3315 Tamiami Trail East, Naples, FL 34112, Collier County in the Lobby of the Collier County Courthouse Annex, 3rd floor, Collier County, Florida at 11:00AM on the September 12, 2024 the following described property as set

NOTICE.

ALL CLAIMS NOT FILED WITHIN THE TIME PERIODS SET FORTH IN FLORIDA STATUTES SECTION 733.702 WILL BE FOREVER BARRED.

NOTWITHSTANDING THE TIME PERIODS SET FORTH ABOVE, ANY CLAIM FILED TWO (2) YEARS OR MORE AFTER THE DECEDENT’S DATE OF DEATH IS BARRED.

The date of first publication of this notice is June 14, 2024.

Personal Representative: MARY JANE PAULLIN 5605 Eleuthera Way Naples, FL 34119

Attorney for Personal Representative: LISA B. GODDY

Florida Bar No. 0507075

Email: lgoddy@wga-law.com

Alternate Email: pleadings@wga-law.com

EDWARD E. WOLLMAN

Florida Bar No. 0618640

Email: ewollman@wga-law.com

Alternate Email: pleadings@wga-law.com

Attorneys for Personal Representative WOLLMAN, GEHRKE & ASSOCIATES, PA 2235 Venetian Court, Suite 5 Naples, FL 34109

Telephone: (239)435-1533

Facsimile: (239)435-1433

June 14, 21, 2024 24-01168C

THE FIRST PUBLICATION OF THIS NOTICE OR 30 DAYS AFTER THE DATE OF SERVICE OF A COPY OF THIS NOTICE ON THEM.

All other creditors of the decedent and other persons having claims or demands against decedent’s estate, including unmatured, contingent or unliquidated claims, must file their claims with this court WITHIN 3 MONTHS AFTER THE DATE OF THE FIRST PUBLICATION OF THIS NOTICE. ALL CLAIMS NOT SO FILED WILL BE FOREVER BARRED.

The date of first publication of this Notice is June 14, 2024.

Personal Representative: Miloslav Rechcigl, Jr. 14687 Indigo Lakes Circle Naples, Florida 34119

Attorney for Personal Representative: Wendy Ennis-Volcy, Esq. & Christine C. Gill, Esq. P.O. Box 822238

Pembroke Pines, FL 33082-2238 (954) 436-2003; (954) 462-3430

WEVolcy@aol.com

Cbast3@aol.com

FBN: 883440 & 983764 June 14, 21, 2024 24-01159C

forth in said Final Judgment of Foreclosure: THE NORTH 1/2 OF TRACT 85, GOLDEN GATE ESTATES UNIT 6, ACCORDING TO THE PLAT THEREOF, AS RECORDED IN PLAT BOOK 4, PAGE 93 AND 94, OF THE PUBLIC RECORDS OF COLLIER COUNTY FLORIDA

A/K/A 570 27TH STREET NW NAPLES FL 34119

Any person claiming an interest in the surplus from the sale, if any, other than the property owner as of the date of the Lis Pendens must file a claim before the Clerk reports the surplus as unclaimed. If you are a person with a disability who needs any accommodation in order to participate in this proceeding, you are entitled, at no cost to you, to the provision of certain assistance. Please contact Charles Rice, Administrative Services Manager, whose office is located at 3315 East Tamiami Trail, Suite 501, Naples, Florida 34112, and whose telephone number is (239) 252-8800, at least 7 days before your scheduled court appearance, or immediately upon receiving this notification if the time before the scheduled appearance is less than 7 days; if you are hearing or voice impaired, call 711.

Dated this 07 day of June, 2024

ALBERTELLI LAW

P. O. Box 23028

Tampa, FL 33623

Tel: (813) 221-4743

Fax: (813) 221-9171

eService: servealaw@albertellilaw.com

By: /s/ Justin Swosinski

Florida Bar #96533

Justin Swosinski, Esq.

LR-19-016656

June 14, 21, 2024 24-01166C

NOTICE TO CREDITORS IN THE CIRCUIT COURT FOR COLLIER COUNTY, FLORIDA PROBATE DIVISION File No. 11-2024-CP-001667-0001-01 IN RE: ESTATE OF JOYCE R. PRATT a/k/a JOYCE MARY PRATT Deceased.

The administration of the estate of Joyce R. Pratt, deceased, whose date of death was December 4, 2023, is pending in the Circuit Court for Collier County, Florida, Probate Division, the address of which is 3301 Tamiami Trail East, Naples, Florida 34101. The names and addresses of the personal representative and the personal representative’s attorney are set forth below. All creditors of the decedent and other persons having claims or demands against decedent’s estate on whom a copy of this notice is required to be served must file their claims with this court ON OR BEFORE THE LATER OF 3 MONTHS AFTER THE TIME OF THE FIRST PUBLICATION OF THIS NOTICE OR 30 DAYS AFTER THE DATE OF SERVICE OF A COPY OF THIS NOTICE ON THEM. All other creditors of the decedent and other persons having claims or de-

NOTICE OF FORECLOSURE SALE IN THE CIRCUIT COURT OF THE 20TH JUDICIAL CIRCUIT, IN AND FOR COLLIER COUNTY, FLORIDA GENERAL JURISDICTION DIVISION CASE NO: 11-2023-CA-000387-0001-XX PENNYMAC LOAN SERVICES, LLC, Plaintiff, vs. FRANCES E. DUCHARME; UNKNOWN SPOUSE OF FRANCES E. DUCHARME; AVE MARIA MASTER ASSOCIATION, INC.; MAPLE RIDGE AT AVE MARIA HOMEOWNERS ASSOCIATION, INC.; UNKNOWN TENANT #1; UNKNOWN TENANT #2, Defendants. NOTICE IS HEREBY GIVEN pursuant to Final Judgment of Mortgage Foreclosure dated June 5, 2024 entered in Civil Case No. 11-2023-CA-0003870001-XX of the Circuit Court of the 20TH Judicial Circuit in and for Collier County, Florida, wherein PENNYMAC LOAN SERVICES, LLC is Plaintiff and FRANCES E. DUCHARME, et al, are Defendants. The Clerk, CRYSTAL K. KINZEL, shall sell to the highest and best bidder for cash at Collier County Courthouse, in the lobby of the Third Floor of the Courthouse Annex, 3315 Tamiami Trial East, Naples, Florida, 34112, at 11:00 AM on July 11, 2024, in accordance with Chapter 45, Florida Statutes, the following described property located in COLLIER County, Florida, as set forth in said Final Judgment of Mortgage Foreclosure to-wit: LOT 115, COQUINA AT MAPLE RIDGE PHASE 1, A SUBDIVISION ACCORDING TO THE

NOTICE TO CREDITORS IN THE CIRCUIT COURT FOR COLLIER COUNTY, FLORIDA PROBATE DIVISION File No. 11-2024-CP-001456-0001-XX IN RE: ESTATE OF HARRY G. KLINGER (a/k/a Harry Gordon Klinger), Deceased.

The administration of the estate of HARRY G. KLINGER (a/k/a Harry Gordon Klinger), deceased, whose date of death was November 1, 2023, is pending in the Circuit Court for Collier County, Florida, Probate Division, the address of which is Collier County Clerk of the Circuit Court, Probate Department, 3315 Tamiami Trail East, Suite 102, Naples, Florida 34112-5324. The names and addresses of the personal representative and the personal representative’s attorney are set forth below.

All creditors of the decedent and other persons having claims or demands against decedent’s estate on whom a copy of this notice is required to be served must file their claims with this court ON OR BEFORE THE LATER OF 3 MONTHS AFTER THE TIME OF THE FIRST PUBLICATION OF THIS NOTICE OR 30 DAYS AFTER THE DATE OF SERVICE OF A COPY OF THIS NOTICE ON THEM.

mands against decedent’s estate must file their claims with this court WITHIN 3 MONTHS AFTER THE DATE OF THE FIRST PUBLICATION OF THIS NOTICE.

ALL CLAIMS NOT FILED WITHIN THE TIME PERIODS SET FORTH IN FLORIDA STATUTES SECTION 733.702 WILL BE FOREVER BARRED.

NOTWITHSTANDING THE TIME PERIODS SET FORTH ABOVE, ANY CLAIM FILED TWO (2) YEARS OR MORE AFTER THE DECEDENT’S DATE

TOWERS, UNIT #1 OF NAPLES, INC., a Florida not-for-profit corporation, Plaintiff, vs. RAYMOND CHERVINSKY, et al., Defendants. NOTICE IS GIVEN that pursuant to the Final Judgment of Foreclosure

entered on the 7th day of June, 2024, in Civil Action No. 2024-CA-000132, of the County Court of the Twentieth Judicial Circuit in and for Collier County, Florida, in which RAYMOND CHERVINSKY, if living and if dead, FLORIDA DEPARTMENT OF REVENUE and ALL UNKNOWN PARTIES CLAIMING BY, THROUGH, UNDER OR AGAINST THE NAMED DEFENDANTS, WHETHER LIVING OR NOT, AND WHETHER SAID UNKNOWN PARTIES CLAIMS AS HEIRS, DEVISEES, GRANTEES, ASSIGNEES, LIENORS, CREDITORS, TRUSTEES, OR IN ANY

OTHER CAPACITY, CLAIMING BY, THROUGH UNDER OR AGAINST THE NAMED DEFENDANTS’, are the Defendants, and VANDERBILT TOWERS, UNIT #1 OF NAPLES, INC., a Florida not-for-profit corporation, is the Plaintiff, CRYSTAL K. KINZEL, CLERK OF THE CIRCUIT COURT, will sell to the highest and best bidder for cash at the 1st floor of the Courthouse Annex in the Multipurpose Room in Customer Service, 3315 Tamiami Trail East, Naples, Florida 34112, at 11:00 a.m. on the 18th day of July, 2024, the following described real property set forth in the Final Judgment of Foreclosure in Collier County, Florida: Apartment 302, VANDERBILT TOWERS, UNIT #1, a Condominium, according to The Declaration of Condominium thereof, of record in Official Record Book 377, Pages 72 through 119, as amended, of the Public Records of Collier County, Florida, together with an undivided share in the common elements appurtenant thereto. (Property Address: 1 Bluebill Ave., Unit 302,

Johnson 2425 Tamiami Trail North, Suite 211 Naples, Florida 34103 Telephone: (239) 436-1500 E-mail: kcbacchus@naplesestatelaw.com Secondary E-mail: jmjacobson@naplesestatelaw.com June 14, 21, 2024

PLAT THEREOF AS RECORDED IN PLAT BOOK 57 PAGES 55 THROUGH 57, OF THE PUBLIC RECORDS OF COLLIER COUNTY, FLORIDA. Any person claiming an interest in the surplus from the sale, if any, other than the property owner as of the date of the Lis Pendens must file a claim before the clerk reports the surplus as unclaimed. The court, in its discretion, may enlarge the time of the sale. Notice of the changed time of sale shall be published as provided herein. If you are a person with a disability who needs any accommodation in order to participate in this proceeding, you are entitled, at no cost to you, to the provision of certain assistance. Please contact the Administrative Court Services Manager, whose office is located at 3315 East Tamiami Trail, Suite 501, Naples, Florida 34112, and whose telephone number is (239) 2528800 at least seven (7) days before your scheduled court appearance, or immediately upon receiving this notification if the time before the scheduled appearance is less than seven (7) days; if you are hearing or voice impaired, call 711. Todd Drosky, Esq. FRENKEL LAMBERT WEISS WEISMAN & GORDON, LLP One East Broward Blvd, Suite 1111 Fort Lauderdale, Florida 33301 Telephone: (954) 522-3233 | Fax: (954) 200-7770 FL Bar #: 54811 DESIGNATED PRIMARY E-MAIL FOR SERVICE PURSUANT TO FLA. R. JUD. ADMIN 2.516 fleservice@flwlaw.com 04-096667-F00 June 14, 21, 2024 24-01150C

All other creditors of the decedent and other persons having claims or demands against decedent’s estate must file their claims with this court WITHIN 3 MONTHS AFTER THE DATE OF THE FIRST PUBLICATION OF THIS NOTICE.

ALL CLAIMS NOT FILED WITHIN THE TIME PERIODS SET FORTH IN FLORIDA STATUTES SECTION 733.702 WILL BE FOREVER BARRED. NOTWITHSTANDING THE TIME PERIODS SET FORTH ABOVE, ANY CLAIM FILED TWO (2) YEARS OR MORE AFTER THE DECEDENT’S DATE OF DEATH IS BARRED. The date of first publication of this notice is June 14, 2024. Richard D. Klinger, Personal Representative 5510 Greenwood Circle Naples, FL 34112 /s/ Lynn Frances Chandler Attorney for Personal Representative E-Mail Address: LFCPA1@centurylink.net Florida Bar No. 456497 Lynn Frances Chandler, P.A. 1415 Panther Lane, Suite 530 Naples, Florida 34109 Telephone: (239) 514-7910 June 14, 21, 2024 24-01173C

JUNE 21 - JUNE 27, 2024 BUSINESS OBSERVER COLLIER COUNTY 22
OF DEATH IS BARRED. The date of first publication of this notice is June 14, 2024. Personal Representative: Cynthia Anne Pratt 7 Union Street Cazenovia Village, New York 13035 Attorney for Personal Representative: Kyle C. Bacchus Florida Bar No. 1018458 Wilson &
24-01177C --- ESTATE / SALES ---
NOTICE OF FORECLOSURE SALE IN THE CIRCUIT COURT OF THE TWENTIETH JUDICIAL CIRCUIT IN AND FOR COLLIER COUNTY, FLORIDA CIVIL ACTION CASE NO. 2024-CA-000132 Confirmation #456744 VANDERBILT
Naples, FL
Any person claiming an interest in the surplus from the sale, if any, other than the property owners as of the date of the lis pendens, must file a claim within 60 days after the sale.
you are a person with a disability who needs any accommodation in order to participate in this proceeding, you are entitled, at no costs to you, to the provision of certain assistance. Please contact the Court Operations Manager whose office is located in Collier County Courthouse, 3315 E. Tamiami Trail, Building L, Naples, Florida 34112, and whose telephone number is (239) 2528800, within two working days of your receipt of this notice of sale; if you are hearing or voice impaired, call 1-800955-8771. Dated: June 10, 2024 /s Jennifer A. Nichols Jennifer A. Nichols, Esq. Florida Bar No. 30239 Roetzel & Andress, LPA 999 Vanderbilt Beach Rd., Suite 401 Naples, Florida 34108 (239) 649-6200 E-mail: jnichols@ralaw.com; serve.jnichols@ralaw.com 21618339 _1 089648.0014 June 14, 21, 2024 24-01182C SECOND INSERTION SECOND INSERTION SECOND INSERTION SECOND INSERTION SECOND INSERTION SECOND INSERTION SECOND INSERTION SECOND INSERTION SECOND INSERTION SECOND INSERTION
34108)
If

Why Public Notice Should Remain in Newspapers

Along with open meeting and freedom of information laws, public notice is an essential element of the three-legged stool of government transparency

This is not about “newspapers vs the internet”. It’s newspapers and newspaper websites vs government websites and newspaper websites have a much larger audience. Moving notice from newspapers to government websites would reduce the presence of public notices on the internet

Requiring independent, third-party newspapers to ensure that public notices run in accordance with the law helps prevent government officials from hiding information they would prefer the public not to see

Since the first U.S. Congress, public officials have understood that newspapers are the best medium to notify the public about official matters because they contain the essential elements of public notice:

Accessibility

Independence

Verifiability

Archivability vs Publishing notices on the internet is neither cheap nor free

Newspapers remain the primary vehicle for public notice in all 50 states

Types Of Public Notices

Citizen Participation Notices

Government Meetings and Hearings

Meeting Minutes or Summaries

Agency Proposals

Proposed Budgets and Tax Rates

Land and Water Use

Creation of Special Tax Districts

School District Reports

Zoning, Annexation and Land Use Changes

Commercial NoticesCourt Notices

Unclaimed Property, Banks or Governments

Delinquent Tax Lists, Tax Deed Sales

Government Property Sales

Permit and License Applications

Mortgage Foreclosures

Name Changes

Probate Rulings

Divorces and Adoptions

Orders to Appear in Court

Stay Informed, It’s Your Right to Know. For legal notice listings go to: Legals.BusinessObserverFL.com

To publish your legal notice call: 941-906-9386 or Legal@BusinessObserverFL.com

JUNE 21 - JUNE 27, 2024 BusinessObserverFL.com COLLIER COUNTY   23
Open Meetings
XNLV18187
Public Notice FOIA

Newsprint is inherently superior to the internet for public notice because reading a newspaper is a serendipitous process.

We find things in newspapers we weren’t expecting to see. On the internet, we search for specific information and ignore everything else.

Citizens continue to learn about vital civic matters from newspaper notices.

Documented examples of people taking action and alerting their community after reading a newspaper notice are reported on a regular basis.

Verifying publication is difficult-to-impossible on the web.

That’s why the courts subject digital evidence to far greater scrutiny than evidence published in newspapers

Types Of Public Notices

Citizen Participation Notices

Government Meetings and Hearings

Meeting Minutes or Summaries

Agency Proposals

Proposed Budgets and Tax Rates

Land and Water Use

Creation of Special Tax Districts

School District Reports

Zoning, Annexation and Land Use Changes

Significant numbers of people in rural areas still lack highspeed internet access.

Those who are older than 65 or who have lower incomes or lack high-school diplomas are also cut off from the internet in far higher numbers than the average.

Moreover, the real digital divide for public notice is growing due to the massive migration to smartphones and other small-screen digital devices

Governments aren’t very good at publishing information on the internet.

Unlike newspaper publishers, public officials aren’t compelled by the free market to operate effective websites. Grade

Commercial NoticesCourt Notices

Unclaimed Property, Banks or Governments

Delinquent Tax Lists, Tax Deed Sales

Government Property Sales

Permit and License Applications

Mortgage Foreclosures

Name Changes

Probate Rulings

Divorces and Adoptions

Orders to Appear in Court

Stay Informed, It’s Your Right to Know. For legal notice listings go to: Legals.BusinessObserverFL.com

To publish your legal notice call: 941-906-9386 or Legal@BusinessObserverFL.com

JUNE 21 - JUNE 27, 2024 BUSINESS OBSERVER COLLIER COUNTY 24
XNLV18187

FICTITIOUS NAME NOTICE

Notice is hereby given that DARRELL T CHICHESTER, OWNER, desiring to engage in business under the fictitious name of FREEDOM REALTY OF TAMPA BAY located at 6746 BONNIE BAY CIR N, PINELLAS PARK, FLORIDA 33781 intends to register the said name in PINELLAS county with the Division of Corporations, Florida Department of State, pursuant to section 865.09 of the Florida Statutes. June 21, 2024 24-02849N

PINELLAS COUNTY LEGAL NOTICES

FICTITIOUS NAME NOTICE

Notice is hereby given that GO MORTGAGE LLC, OWNER, desiring to engage in business under the fictitious name of DELTA SOUTH WEST FUNDING located at 4215 WORTH AVE, STE 320, COLUMBUS, OHIO 43219 intends to register the said name in PINELLAS county with the Division of Corporations, Florida Department of State, pursuant to section 865.09 of the Florida Statutes. June 21, 2024 24-02850N

FIRST INSERTION

NOTICE OF PUBLIC SALE

Extra Space Storage, on behalf of itself or its affiliates, Life Storage or Storage Express, will hold a public auction to sell personal property described below belonging to those individuals listed below at the location indicated: 6780 Seminole Blvd Seminole, FL 33772 July 11, 2024 @ 1:00 PM

Crystal Garay Boxes, totes & Household items

Blair Jenkins Boxes and furniture

The

NOTICE OF PUBLIC SALE

Extra Space Storage, on behalf of itself or its affiliates, Life Storage or Storage Express, will hold a public auction to sell personal property described below belonging to those individuals listed below at the location indicated: 9125 Ulmerton Rd Largo, FL 33771 7/10/2024 at 12:30pm

Ryan Burgon Furniture, Household Goods

Tiffany Gamble Household Goods

Sheneka Akins Household Goods

The auction will be listed and advertised on www.storagetreasures.com. Purchases must be made with cash only and paid at the above referenced facility in order to complete the transaction. Extra Space Storage may refuse any bid and may rescind any purchase up until the winning bidder takes possession of the personal property. June 21, 28, 2024 24-02863N

FIRST INSERTION

NOTICE OF PUBLIC SALE

Extra Space Storage, on behalf of itself or its affiliates, Life Storage or Storage Express, will hold a public auction to sell personal property described below belonging to those individuals listed below at the location indicated:

10700 US Highway 19 N, Pinellas Park, FL, 33782 on 07/10/2024 @ 11am EST

Brian Campbell - Household items.

Jordan Ornelas - Household Goods/Furniture

CHANEL JUNIOUS - Household Goods/Furniture, Boxes

Keith Hines - filing cabinet, family phots, boxes

The auction will be listed and advertised on www.storagetreasures.com. Purchases must be made with cash only and paid at the above referenced facility in order to complete the transaction. Extra Space Storage may refuse any bid and may rescind any purchase up until the winning bidder takes possession of the personal property June 21, 28, 2024 24-02791N

SALE Extra Space Storage, on behalf of itself or its affiliates, Life Storage or Storage Express, will hold a public auction to sell personal property described below belonging to those individuals listed below at the location indicated: Extra Space Storage 2950 Gandy Blvd, St. Petersburg, FL 33702, July 11th, 2024 @ 12:00 PM.

Name Contents Roberto Quintero Refrigerator, Range top

Dustin Bergeron Household items, Personal Items, Furniture

Phillip Walker Furniture, Storage totes, Personal items

This auction will be listed and advertised on www.storagetreasures.com. Purchases must be made with cash only and paid at the above referenced facility in order to complete the transaction. Extra Space Storage may refuse any bid and may rescind any purchase up until the winning bidder takes possession of the personal property. June 21, 28, 2024 24-02834N

NOTICE OF PUBLIC SALE: DAY AND NIGHT TOWING LLC gives notice that on 07/07/2024 at 08:00 AM the following vehicles(s) may be sold by public sale at 1594 S MYRTLE AVE CLEARWATER FL to satisfy the lien for the amount owed on each vehicle for any recovery, towing, or storage services charges and administrative fees allowed pursuant to Florida statute 713.78.

1GKKRPEDXCJ367140 2012 GMC June 21, 2024 24-02851N

FICTITIOUS NAME NOTICE

Notice is hereby given that BorisRoger, Minister, desiring to engage in business under the fictitious name of MR ERICKSON located at 50 8th Ave Southwest, Suite 5225, Largo, Florida 33770, intends to register the said name in Pinellas county with the Division of Corporations, Florida Department of State, pursuant to section 865.09 of the Florida Statutes. June 21, 2024 24-02840N

FIRST INSERTION

NOTICE OF PUBLIC SALE

Extra Space Storage, on behalf of itself or its affiliates, Life Storage or Storage Express, will hold a public auction to sell personal property described below belonging to those individuals listed below at the location indicated: 3201 32nd Ave S St. Petersburg FL, 33712 July 12, 2024 at 10:30am

Edward Middlebrooks - Furniture

The auction will be listed and advertised on www.storagetreasures.com. Purchases must be made with cash only and paid at the above referenced facility in order to complete the transaction. Extra Space Storage may refuse any bid and may rescind any purchase up until the winning bidder takes possession of the personal property. June 21, 28, 2024 24-02832N

Auction date:7/11/2024 @1:00pm

Store Location:1225 Missouri Ave, Largo Fl.33770 Store#4106

Cassidy Bortell/Household good, toys, boxes

Charles Goodman/Household goods, bags, furniture

Irving Alvarado/Houshold goods, sporting goods, clothes

The auction will be listed and advertised on www.storagetreasures.com. Purchases must be made with cash only and paid at the above referenced facility to complete the transaction. Life Storage may refuse any bid and may rescind any purchase up until the winning bidder takes possession of personal property.

June 21, 28, 2024 24-02831N

FIRST INSERTION

NOTICE OF PUBLIC SALE

Extra Space Storage, on behalf of itself or its affiliates, Life Storage or Storage Express, will hold a public auction to sell personal property described below belonging to those individuals listed below at the location indicated: 1650 7th Ave N St Petersburg, FL 33713 July 10, 2024 at 11:30am

Montana Judd- Lamps, Mattress, Bedding, Personal Effects,Furniture, Boxes Terence Brazel- Boxes, Storage Shelves jydia Huell- Toys, Mattress, Bedding, Personal Effects, Bags

The auction will be listed and advertised on www.storagetreasures.com. Purchases must be made with cash only and paid at the above referenced facility in order to complete the transaction. Extra Space Storage may refuse any bid and may rescind any purchase up until the winning bidder takes possession of the personal property. June 21, 28, 2024 24-02821N

FIRST INSERTION

NOTICE OF PUBLIC SALE

Extra Space Storage, on behalf of itself or its affiliates, Life Storage or Storage Express, will hold a public auction to sell personal property described below belonging to those individuals listed below at the location indicated: 10501 S Belcher Rd Largo, FL 33777 Date and Time of Sale: 7/10/24 10:30AM

Tenant Name: Donna Graham

General Description of Property: Household, furniture, massage beds, totes

Tenant Name: Tyler Hettinger

General Description of Property: Household, furniture, bed, totes, wall art

FICTITIOUS NAME NOTICE

Notice is hereby given that Boris-Roger, Minister, desiring to engage in business under the fictitious name of BORIS ERICKSON located at 50 8th Ave Southwest, Suite 5225, Largo, Florida 33770, intends to register the said name in Pinellas county with the Division of Corporations, Florida Department of State, pursuant to section 865.09 of the Florida Statutes. June 21, 2024 24-02839N

FIRST INSERTION NOTICE OF PUBLIC SALE

Extra Space Storage, on behalf of itself or its affiliates, Life Storage or Storage Express, will hold a public auction to sell personal property described below belonging to those individuals listed below at the location indicated: 10833 Seminole Blvd. Seminole, FL 33778 7/ 11 /24 at 12:30pm

Kyle Smith Camping items, fishing poles, hand tools

John New Couch, speakers, boxes Ariana Dahlstrom Tool chest, mattress, clothes, bags

The auction will be listed and advertised on www.storagetreasures.com. Purchases must be made with cash only and paid at the above referenced facility in order to complete the transaction. Extra Space Storage may refuse any bid and may rescind any purchase up until the winning bidder takes possession of the personal property. June 21, 28, 2024

FIRST INSERTION

NOTICE OF PUBLIC SALE

Tenant Name General Description of Property Jaco King Clothing and personal items Amanda Rego Furniture Troy Smith Music Equipment

FIRST INSERTION

NOTICE OF PUBLIC SALE

24-02830N

Extra Space Storage, on behalf of itself or its affiliates, Life Storage or Storage Ex-

Extra Space Storage, on behalf of itself or its affiliates, Life Storage or Storage Express, will hold a public auction to sell personal property described below belonging to those individuals listed below at the location indicated :Life Storage 1159 94th Ave N. St. Petersburg FL,33702 on 07/10/2024 at 12:30 PM

NAME - CONTENTS:

Derice Etienne -Bags/Luggage

Walter Jennings - Household goods

Annie Young - Household goods/ furniture Matthew Nelson - Household Items

The auction will be listed and advertised on www.storagetreasures.com.Purchases must be made with cash only and paid at the above referenced facility in order to complete the transaction. Extra Space Storage may refuse any bid and may rescind any purchase up until the winning bidder takes possession of the personal property. June 21, 28, 2024 24-02825N FIRST INSERTION

The auction will be listed and advertised on www.storagetreasures.com. Purchases must be made with cash only and paid at the above referenced facility in order to complete the transaction. Extra Space Storage may refuse any bid and may rescind any purchase up until the winning bidder takes possession of the personal property. June 21, 28, 2024 24-02824N

PAGE 17 **Additional Public Notices may be accessed on BusinessObserverFL.com and the statewide legal notice website, FloridaPublicNotices.com** JUNE 21 - JUNE 27, 2024 Public Notices PAGES 17--32
FIRST INSERTION NOTICE OF PUBLIC SALE Extra Space Storage, on behalf of itself or its affiliates, Life Storage or Storage Express, will hold a public auction to sell personal property described below belonging to those individuals listed below at the location indicated: 111 N. Myrtle Ave Clearwater, FL 33755 7/12/2024 at 12:00pm Edward Frencher Household Goods, Furniture New Level New Level Auto Detailing, LLC Household Goods The auction will be listed and advertised on www.storagetreasures.com. Purchases must be made with cash only and paid at the above referenced facility in order to complete the transaction. Extra Space Storage may refuse any bid and may rescind any purchase up until the winning bidder takes possession of the personal property. June 21, 28, 2024 24-02864N
--- PUBLIC SALES ---
auction will be listed and advertised on www.storagetreasures.com. Purchases must be made with cash only and paid at the above referenced facility in order to complete the transaction. Extra Space Storage may refuse any bid and may rescind any purchase up until the winning bidder takes possession of the personal property. June 21, 28, 2024 24-02797N FIRST INSERTION NOTICE OF PUBLIC SALE Extra Space Storage, on behalf of itself or its affiliates, Life Storage or Storage Express, will hold a public auction to sell personal property described below belonging to those individuals listed below at the location indicated: 1675 Starkey Road, Largo, FL 33771 7.12.2024 at 1:00pm Edward Manning Hand truck, Electric Car, Generator, TV, Ladder, Lawnmower, Bedframe Levi Gradiz Hand truck, Bedframe, Vacuum, Step Ladder, Lamp, King Size Box Spring Mark Tutko Shop-Vac, Dresser, Fan, Chairs, Compressor, Desk, TV Martez Cook Shop-Vac, Large Speaker, Safe, Tote, Suitcase, Jack The auction will be listed and advertised on www.storagetreasures.com. Purchases must be made with cash only and paid at the above referenced facility in order to complete the transaction. Extra Space Storage may refuse any bid and may rescind any purchase up until the winning bidder takes possession of the personal property. June 21, 28, 2024 24-02807N FIRST INSERTION NOTICE OF PUBLIC SALE Extra Space Storage will hold a public auction to sell personal property described below belonging to those individuals listed below at the location indicated: Extra Space Storage 8610 66th St N Pinellas Park, FL 33782, on 7/11/2024 @ 12:00pm. Kimberle Lowden Household items, boxes, decorations Tammy Long Bags,Boxes,Household Richard Neal Toted, Boces,Toys,Clothes Robert Press Walker, Clothes Arika Zemola Totes,Boxes, Household, Personal Items Norma Yvette Miller Drums, Electronics, Furniture The auction will be listed and advertised on www.storagetreasures.com. Purchases must be made with cash only and paid at the above referenced facility in order to complete the transaction. Extra Space Storage may refuse any bid and may rescind any purchase up until the winning bidder takes possession of the personal property. June 21, 28, 2024 24-02788N FIRST INSERTION NOTICE OF PUBLIC SALE Extra Space Storage, on behalf of itself or its affiliates, Life Storage or Storage Express, will hold a public auction to sell personal property described below belonging to those individuals listed below at the location indicated: 13880 Walsingham Road, Largo, FL 33774 at 10:30am on July 11th, 2024. Shanita Whiting “Beed room furniture Boxes and personal stuff, Tvs” Melva Jean Camposecco “Furniture, household goods” Angela Oppenheimer “household items” Scott Frank Wright “ TV, mattress set, household items” (Tv and household not included) Antonio Kofoed “Furniture” The auction will be listed and advertised on www.storagetreasures.com. Purchases must be made with cash only and paid at the above referenced facility in order to complete the transaction. Extra Space Storage may refuse any bid and may rescind any purchase up until the winning bidder takes possession of the personal property. June 21, 28, 2024 24-02835N FIRST INSERTION NOTICE OF PUBLIC SALE Extra Space Storage, on behalf of itself or its affiliates, Life Storage or Storage Express, will hold a public auction to sell personal property described below belonging to those individuals listed below at the location indicated: 1660 Gulf to Bay Blvd , Clearwater ,Fl. 33755 07/10/24 at 11:30am Sandra Ponczkowski Household goods Bradley Murray Household goods Paris Mckinley Household Goods Keith Jones Household Goods The auction will be listed and advertised on www.storagetreasures.com. Purchases must be made with cash only and paid at the above referenced facility in order to complete the transaction. Extra Space Storage may refuse any bid and may rescind any purchase up until the winning bidder takes possession of the personal property June 21, 28, 2024 24-02817N FIRST INSERTION NOTICE OF PUBLIC SALE Extra Space Storage, on behalf of itself or its affiliates, Life Storage or Storage Express, will hold a public auction to sell personal property described below belonging to those individuals listed below at the location indicated: Life Storage 4495 49th St N. St. Petersburg FL,33709 on July 12, 2024 at 12:00 PM Del M Elkin -Household Goods/Furniture Raymond Hileman -household goods Rhaheme Boseman -Personal items Jovita Rich -Household Goods/Furniture Brittany Gresham -household goods The auction will be listed and advertised on www.storagetreasures.com. Purchases must be made with cash only and paid at the above referenced facility in order to complete the transaction. Extra Space Storage may refuse any bid and may rescind any purchase up until the winning bidder takes possession of the personal property. June 21, 28, 2024 24-02789N FIRST INSERTION NOTICE OF PUBLIC SALE Extra Space Storage, on behalf of itself or its affiliates, Life Storage or Storage Express, will hold a public auction to sell personal property described below belonging to those individuals listed below at the location indicated: 1016 N Belcher Rd. Clearwater, FL 33765, 7/10/2024 and 1:00 PM Tyson Brooks Household Goods/Furniture Chekeysha Whiting Household Goods/Furniture, TV /Stereo Equipment Tino Santos Household Goods/Furniture Sandra Howard-white Household Goods/Furniture Mikera Williams Household Goods/Furniture This auction will be listed and advertised on www.storagetreasures.com. Purchases must be made with cash only and paid at the above referenced facility in order to complete the transaction. Extra Space Storage may refuse any bid and may rescind any purchase up until the winning bidder takes possession of the personal property. June 21, 28, 2024 24-02787N FIRST INSERTION NOTICE OF
PUBLIC
FIRST INSERTION
Notice of Public Sale Life Storage will hold a public auction to sell personal property described below belonging to those individuals listed below at the location indicated;
press, will hold a public auction to sell personal property described below belonging to those individuals listed below at the location indicated:
Drew St. Clearwater, FL 33765
at 11 A.M.
2180
7/12/2024
be made
cash only
paid
the above referenced facility in order to complete the transaction. Extra Space Storage may refuse any bid and may rescind any purchase up until the winning bidder takes possession of the personal property. June 21, 28, 2024
PUBLIC
following
sold
sale
This auction will be listed and advertised on www.storagetreasures.com. Purchases must
with
and
at
24-02786N NOTICE OF
SALE: MDP TOWING gives notice that on 07/08/2024 at 08:00 AM the
vehicles(s) may be
by public
at 7943 62ND WAY PINELLAS PARK, FL 33781 to satisfy the lien for the amount owed on each vehicle for any recovery, towing, or storage services charges and administrative fees allowed pursuant to Florida statute 713.78. 1D7HA18K96J246632 2006 DODG June 21, 2024 24-02885N

NOTICE UNDER FICTITIOUS NAME LAW ACCORDING TO FLORIDA STATUTE NUMBER

865.09

NOTICE IS HEREBY GIVEN that the undersigned, desiring to engage in business under the Fictitious Name of Tampa River Trading Group located at 7901 4th St N STE 300 in the City of St. Petersburg, Pinellas County, FL 33702 intends to register the said name with the Division of Corporations of the Department of State, Tallahassee, Florida. Dated this 17th day of June, 2024. Channelsie Import Export LLC June 21, 2024 24-02858N

NOTICE UNDER FICTITIOUS NAME LAW ACCORDING TO FLORIDA STATUTE NUMBER

865.09

NOTICE IS HEREBY GIVEN that the undersigned, desiring to engage in business under the Fictitious Name of LC Health Insurance Brokers located at 7901 4th St N STE 300 in the City of St. Petersburg, Pinellas County, FL 33702 intends to register the said name with the Division of Corporations of the Department of State, Tallahassee, Florida.

Dated this 12th day of June, 2024. Barney Enterprises Inc. June 21, 2024 24-02785N

NOTICE UNDER FICTITIOUS NAME LAW ACCORDING TO FLORIDA STATUTE NUMBER

865.09

NOTICE IS HEREBY GIVEN that the undersigned, desiring to engage in business under the Fictitious Name of Heritage Family Life Insurance Company located at 1846 E. Innovation Park Dr. STE 100 in the City of Oro Valley, Pinellas County, FL 85755 intends to register the said name with the Division of Corporations of the Department of State, Tallahassee, Florida.

Dated this 17th day of June, 2024. Heritage Family Life LLC June 21, 2024 24-02866N

NOTICE UNDER FICTITIOUS NAME LAW ACCORDING TO FLORIDA STATUTE NUMBER

865.09

NOTICE IS HEREBY GIVEN that the undersigned, desiring to engage in business under the Fictitious Name of Above Board Enterprises LLC located at 7901 4TH ST N STE 300 in the City of St. Petersburg, Pinellas County, FL 33702 intends to register the said name with the Division of Corporations of the Department of State, Tallahassee, Florida.

Dated this 18th day of June, 2024. Above Board Healthcare LLC June 21, 2024 24-02874N

NOTICE UNDER FICTITIOUS NAME LAW ACCORDING TO FLORIDA STATUTE NUMBER

865.09

NOTICE IS HEREBY GIVEN that the undersigned, desiring to engage in business under the Fictitious Name of Glover’s Stables & Equestrian Center located at 7901 4TH ST N STE 300 in the City of ST. PETERSBURG, Pinellas County, FL 33702 intends to register the said name with the Division of Corporations of the Department of State, Tallahassee, Florida. Dated this 12th day of June, 2024. Florida Equestrian Services LLC June 21, 2024 24-02784N

NOTICE UNDER FICTITIOUS NAME LAW ACCORDING TO FLORIDA STATUTE NUMBER

865.09

NOTICE IS HEREBY GIVEN that the undersigned, desiring to engage in business under the Fictitious Name of Kerley’s Senior Insurance Services located at 7901 4th St N STE 300 in the City of St Petersburg, Pinellas County, FL 33702 intends to register the said name with the Division of Corporations of the Department of State, Tallahassee, Florida.

Dated this 18th day of June, 2024. KERLEY’S MEDICARE SERVICES LLC June 21, 2024 24-02878N

FIRST INSERTION

NOTICE OF PUBLIC SALE

Extra Space Storage, on behalf of itself or its affiliates, Life Storage or Storage Express, will hold a public auction to sell personal property described below belonging to those individuals listed below at the location indicated: Extra Space Storage 1855

32nd St. N St. Petersburg, FL 33713 on July 10, 2024, at 10:00 AM.

Claudia Soto - Household items, Furniture, Personal Effects, Totes

Kimberly Long - Clothing, Electronics, Boxes, Mattress, Furniture, Toys

Loretta Calvin - Appliances, Cabinets, Dishes, Clothing, Mattress, Electronics, Furniture

Kenneth Cook - Books, Boxes, Clothing, Household items, Old stuff

The auction will be listed and advertised on www.storagetreasures.com. Purchases must be made with cash only and paid at the above facility to complete the transaction. Extra Space Storage may refuse any bid and may rescind any purchase up until the winning bidder takes possession of the personal property. June 21, 28, 2024 24-02836N

PUBLIC NOTICE

You will please take notice that the Pinellas County Board of County Commissioners at its regular meeting of June 11, 2024, in 333 Chestnut Street, Palm Room, Pinellas County Communications Building, Clearwater, Florida 33756, adopted a resolution vacating the following legally described property as petitioned by Land Trust Service Corporation.

VACATE THAT PORTION OF COUNTY ROAD 144 (PARK BOULEVARD), A 100-FOOT ROAD PETITION, DECLARED PER BOARD OF COUNTY COMMISSIONERS MINUTES BOOK 5, PAGE 516, LYING WITHIN THE WEST 35 FEET OF LOT 6, OF THE NORTHEAST 1/4 OF SECTION 08-30-16, PINELLAS GROVES, PLAT BOOK 1, PAGE 55, LESS THAT PORTION WITHIN THE SOUTH 300.00 FEET OF SAID LOT 6 AND LESS THAT PORTION WITHIN THE NORTH 40.00 FEET OF THE NORTHEAST 1/4 OF SAID SECTION 08, (6160 ULMERTON ROAD), PINELLAS COUNTY, FLORIDA

KEN BURKE, CLERK TO THE BOARD OF COUNTY COMMISSIONERS

By: Derelynn Revie, Deputy Clerk June 21, 2024 24-02780N

FIRST INSERTION

NOTICE OF PUBLIC SALE

Extra Space Storage, on behalf of itself or its affiliates, Life Storage or Storage Express, will hold a public auction to sell personal property described below belonging to those individuals listed below at the location indicated: Extra Space Storage 7220 4th St N, St. Petersburg, FL 33702 7/12/2024, 1:00 p.m.

Essence Flowers-Mannequins, furniture, totes

Jessica Estes- Tv’s, Bike speakers, totes

The auction will be listed and advertised on www.storagetreasures.com. Purchases must be made with cash only and paid at the above referenced facility in order to complete the transaction. Extra Space Storage may refuse any bid and may rescind any purchase up until the winning bidder takes possession of the personal property June 21, 28, 2024 24-02829N

NOTICE OF PUBLIC SALE: SEMINOLE TOWING gives notice that on the following dates at 12:00 PM the following vehicles(s) may be sold by public sale at 11076 70 AV, SEMINOLE to satisfy the lien for the amount owed on each vehicle for any recovery, towing, or storage services charges and administrative fees allowed pursuant to Florida statute 713.78.

7/5/24

5NPD74LF3LH612642 2020 HYUNDAI

7/19/24

1C4PJLDS3FW548377

NOTICE UNDER FICTITIOUS NAME LAW ACCORDING TO FLORIDA STATUTE NUMBER 865.09

NOTICE IS HEREBY GIVEN that the undersigned, desiring to engage in business under the Fictitious Name of Fibrenew Vero Beach located at 7901 4TH ST N STE 300 in the City of ST. PETERSBURG, Pinellas County, FL 33702 intends to register the said name with the Division of Corporations of the Department of State, Tallahassee, Florida.

Dated this 14th day of June, 2024. Color Match Restorations LLC June 21, 2024 24-02838N

NOTICE UNDER FICTITIOUS

NAME LAW ACCORDING TO FLORIDA STATUTE NUMBER

865.09

NOTICE IS HEREBY GIVEN that the undersigned, desiring to engage in business under the Fictitious Name of 12 Volt Media International Research Group located at 7901 4th St N STE 300 in the City of St. Petersburg, Pinellas County, FL 33702 intends to register the said name with the Division of Corporations of the Department of State, Tallahassee, Florida.

Dated this 13th day of June, 2024. Ezy AudioParts LLC June 21, 2024 24-02798N

NOTICE UNDER FICTITIOUS NAME LAW PURSUANT TO SECTION 865.09, FLORIDA STATUTES

NOTICE IS HEREBY GIVEN that the undersigned, desiring to engage in business under the fictitious name of Drone Washing Dynamics located at 7901 4th St N # 21178, in the County of Pinellas, in the City of St. Petersburg, Florida 33702 intends to register the said name with the Division of Corporations of the Florida Department of State, Tallahassee, Florida.

Dated at St. Petersburg, Florida, this 12th day of June, 2024. SAINT PETE SEALERS LLC June 21, 2024 24-02783N

NOTICE UNDER FICTITIOUS NAME LAW ACCORDING TO FLORIDA STATUTE NUMBER 865.09

NOTICE IS HEREBY GIVEN that the undersigned, desiring to engage in business under the Fictitious Name of Cognita Technologies located at 7901 4th St N STE 300 in the City of St. Petersburg, Pinellas County, FL 33702 intends to register the said name with the Division of Corporations of the Department of State, Tallahassee, Florida.

Dated this 13th day of June, 2024. Cognita Holdings LLC June 21, 2024 24-02808N

NOTICE UNDER FICTITIOUS NAME LAW ACCORDING TO FLORIDA STATUTE NUMBER

865.09

NOTICE IS HEREBY GIVEN that the undersigned, desiring to engage in business under the Fictitious Name of Discount Lawn Mowing located at 7901 4th Street N, Unit 21665 in the City of St. Petersburg, Pinellas County, FL 33702 intends to register the said name with the Division of Corporations of the Department of State, Tallahassee, Florida.

Dated this 18th day of June, 2024. R. Matt Wonson June 21, 2024 24-02883N

NOTICE UNDER FICTITIOUS NAME LAW PURSUANT TO SECTION 865.09, FLORIDA STATUTES

NOTICE IS HEREBY GIVEN that the undersigned, desiring to engage in business under the fictitious name of Arcadian Distributors located at 201 4th St S Unit 625, in the County of Pinellas, in the City of St Petersburg, Florida 33701 intends to register the said name with the Division of Corporations of the Florida Department of State, Tallahassee, Florida. Dated at St Petersburg, Florida, this 13th day of June, 2024.

SANARATE HOLDINGS LLC June 21, 2024 24-02795N

FIRST INSERTION

NOTICE OF PUBLIC SALE

Extra Space Storage, on behalf of itself or its affiliates, Life Storage or Storage Express, will hold a public auction to sell personal property described below belonging to those individuals at the location indicated: 6901 Park Blvd N Pinellas Park, FL 33781 July 10th, 2024 at 12:00pm

• Moses Dagnogo: Mattress, Furniture, Bags, Totes, Vaccuum Francisca Alsace Watson: Boxes, Clothing , Totes, Puzzles

The auction will be listed and advertised on www.storagetreasures.com. Purchases must be made with cash only and paid at the above referenced facility in order to complete the transaction. Extra Space Storage may refuse any bid and may rescind any purchase up until the winning bidder takes possession of the personal property. June 21, 28, 2024 24-02877N

FIRST INSERTION

NOTICE OF PUBLIC SALE

Extra Space Storage, on behalf of itself or its affiliates Life Storage or Storage Express, will hold a public auction to sell personal property described below belonging to those individuals listed below at the location indicated: Extra Space Storage at 4750 62nd Ave N Pinellas Park, FL 33781 on July 12th, 2024 at 11AM

Veronica Vann-household items, electronics, boxes, and tools

Jose Perez-couch, toys, keyboard, and tools

Johnathan Michael Deck-household items tools, ladder, electronics, and yard tools

Johnathan Michael Deck-bedroom set, desk, electronics, tools, ladders, file cabinet and boxes

Brett Bennett- clothes, bags, luggage, bicycle, umbrellas, and yard tools

This auction will be listed and advertised on www.storagetreasures.com . Purchases must be made in cash only and paid at the above referenced facility in order to complete transaction. Extra Space Storage may refuse any bid and may rescind any purchase up until the winning bidder takes possession of the personal property. June 21, 28, 2024 24-02828N

FIRST INSERTION

NOTICE OF PUBLIC SALE

Extra Space Storage will hold a public auction to sell personal property, described below, belonging to those individuals listed below, at the location indicated: 1850 N. Hercules Avenue. Clearwater Florida, 33765 July 12th , 2024 at 12:30 pm

Shakisha Nance.........furniture, mattress, boxes, small electronics, peter Luis Napoles.....household items

The auction will be listed and advertised on www.storagetreasures.com Purchases must be made with cash only and paid at the above referenced facility in order to complete the transaction. Extra Space Storage may refuse any bid and may rescind any purchase up until the winning bidder takes possession of the property. June 21, 28, 2024 24-02873N

NOTICE UNDER FICTITIOUS NAME LAW ACCORDING TO FLORIDA STATUTE NUMBER 865.09

NOTICE IS HEREBY GIVEN that the undersigned, desiring to engage in business under the Fictitious Name of PMI Brickell located at 80 S.W. 8th Street Suite 2000 in the City of Miami, Pinellas County, FL 33130 intends to register the said name with the Division of Corporations of the Department of State, Tallahassee, Florida. Dated this 13th day of June, 2024. The North Property Management Corporation June 21, 2024 24-02799N

NOTICE UNDER FICTITIOUS NAME LAW ACCORDING TO FLORIDA STATUTE NUMBER

865.09

NOTICE IS HEREBY GIVEN that the undersigned, desiring to engage in business under the Fictitious Name of limo website templates llc located at 7901 4th St N STE 300 in the City of St. Petersburg, Pinellas County, FL 33702 intends to register the said name with the Division of Corporations of the Department of State, Tallahassee, Florida.

Dated this 18th day of June, 2024. Limo Host LLC June 21, 2024 24-02884N

NOTICE UNDER FICTITIOUS NAME LAW PURSUANT TO F.S. §865.09

NOTICE IS HEREBY GIVEN that the undersigned, desiring to engage in business under the fictitious name of ParaDollars Chemicals, located at 7901 4th St N STE 300, in the City of St Petersburg, County of Pinellas, State of FL, 33702, intends to register the said name with the Division of Corporations of the Florida Department of State, Tallahassee, Florida. Dated this 17 of June, 2024. ParaDollars, LLC 7901 4th St N STE 300 St Petersburg, FL 33702 June 21, 2024 24-02852N

NOTICE UNDER FICTITIOUS NAME LAW ACCORDING TO FLORIDA STATUTE NUMBER 865.09

NOTICE IS HEREBY GIVEN that the undersigned, desiring to engage in business under the Fictitious Name of 12 Volt Media International Research Group located at 7901 4th St N STE 300 in the City of St. Petersburg, Pinellas County, FL 33702 intends to register the said name with the Division of Corporations of the Department of State, Tallahassee, Florida. Dated this 13th day of June, 2024. Ezy AudioParts LLC June 21, 2024 24-02798N

FIRST INSERTION

Notice of Public Sale

Extra Space Storage, on behalf of itself or its affiliates, Life Storage or Storage Express, will hold a public auction to sell personal property described below

FIRST INSERTION NOTICE OF PUBLIC SALE

Extra Space Storage, on behalf of itself or its affiliates Life Storage or Storage Express, will hold a public auction to sell

Veronica Vann-household items, electronics, boxes, and tools

Jose Perez-couch, toys, keyboard, and tools

Johnathan Michael Deck-household items tools, ladder, electronics, and yard tools

Johnathan Michael Deck-bedroom set, desk, electronics, tools, ladders, file cabinet and boxes

Brett Bennett- clothes, bags, luggage, bicycle, umbrellas, and yard tools

FIRST INSERTION NOTICE OF PUBLIC SALE The following personal property of RICHARD A. DEVOE, if deceased any unknown heirs or assigns, will, on July 3, 2024, at 10:00 a.m., at 2381 Gulf to Bay Blvd., Lot #711, Clearwater, Pinellas County, Florida 33765; be sold for cash to satisfy storage fees in accordance with Florida Statutes, Section 715.109: 1967 HILL MOBILE HOME, VIN: HF213A4812, TITLE NO.: 0002884841 and all other personal property located therein

PREPARED BY: J. Matthew Bobo Lutz, Bobo & Telfair, P.A. 2 North Tamiami Trail, Suite 500 Sarasota, Florida 34236 [PO#25466-5905] June 21, 28, 2024 24-02854N

the location indicated: 2150 25th Street N St Petersburg, FL 33713 July 12, 2024 at 12:30pm

Michael Zabrinas- Boxes

Anna Borzsak- Furniture, totes

Raynette Bunyan- Clothes, furniture

Christy Kato- Furniture, electronics, totes

Jennifer Van Houten- Totes, bags, matterss

Jennifer Van Houten- Rugs, home decor, furniture

Betty Butterfield Youmans- Christmas goods, boxes, art

Rey Velazquez- Tvs, boxes

Richard Hawkins-Furniture, dishes

The auction will be listed and advertised on www.storagetreasures.com. Purchases must be made with cash only and paid at the above referenced facility in order to complete the transaction. Extra Space Storage may refuse any bid and may rescind any purchase up until the winning bidder takes possession of the personal property. June 21, 28, 2024 24-02827N

CITY OF ST. PETERSBURG NOTICE OF PUBLIC HEARING REGARDING Approval of a Special Exception or Site Plan

Approve of a Special Exception and related site plan to construct a 5-story building with 330-dwelling units, multiple 1 and 3-story buildings with 32,000 square feet of commercial space and 50-dwelling units and a 6-story, 600 space parking garage. The applicant is requesting a variance to building setbacks. Case No. 24-32000006. Address: 3200 1st Avenue South.

The Development Review Commission (DRC) Public Hearing is scheduled to be held on Wednesday, July 10th, 2024, at 1:00 P.M. in Council Chambers, City Hall, located at 175 Fifth Street North, St. Petersburg, Florida. For more information, please contact our office, Development Review Services Division at DRC@StPete.org. For any questions, please contact Development Review Services at One 4th Street North, St. Petersburg, FL or 727-892-5498.

Notice is hereby given that all interested parties may appear at the meeting and be heard by the Development Review Commission, with respect to the proposed Special Exception or Site Plan Review case listed above.

The City, in compliance with the Americans with Disabilities Act of 1990 (ADA), provides reasonable accommodations for all official City proceedings. If you wish to request an accommodation under the ADA, you should contact the City Clerk not less than 72 hours prior to the meeting by calling 727-893-7448 or TDD 727-892-5259, or the Florida Relay Telecommunication Service at 7-1-1. The City cannot guarantee the availability of persons capable of assisting individuals with a hearing impairment or who are unfamiliar with the English language but will attempt to provide such assistance if requested.

Copies of the proposed request are available at the Development Review Services Division, MSC Building, and may be inspected by the public. In accordance with Section 286.0105, Florida Statutes, if a person decides to appeal any decision made by a governmental board, commission or agency, they will need a record of the proceeding. It is up to the potentially adversely affected citizen to ensure that a verbatim record of the proceeding is made, including testimony and evidence upon which the appeal

18 JUNE 21 – JUNE 27, 2024 BUSINESS OBSERVER PINELLAS COUNTY --- PUBLIC SALES ---
belonging to those individuals listed below at the location indicated: 1844 N Belcher Rd, Clearwater, FL 33765 7/11/24 at 11:30am Mark Lamb Household Goods, Furniture Christopher Cunningham Household Goods, Furniture Victor Albuquerque Mattress Britany Johnson Tubs
referenced facility
personal property
21, 28, 2024 24-02833N
The auction will be listed and advertised on www.storagetreasures.com. Purchases must be made with cash only and paid at the above
in order to complete the transaction. Extra Space Storage may refuse any bid and may rescind any purchase up until the winning bidder takes possession of the
June
below
personal property described
belonging to those individuals listed below at the location indicated: Extra Space Storage at 4750 62nd Ave N Pinellas Park, FL 33781 on July 12th, 2024 at 11AM
This auction will be listed and advertised on www.storagetreasures.com . Purchases must be made in cash only and paid at the above referenced facility in order to complete transaction. Extra Space Storage may refuse any bid and may resind any purchase up until the winning bidder takes possession of the personal property. June 21, 28, 2024 24-02826N
is to be based. Any person who may need such a record can arrange for a court reporter to attend the public hearing. Appeal information is set forth in Section 16.70.010.6 of the City Code, which can be accessed online, along with all of City Code Chapter 16, at www.stpete.org. June 21, 2024 24-02872N FIRST INSERTION NOTICE OF PUBLIC SALE Extra Space Storage, on behalf of itself or its affiliates, Life Storage or Storage Express, will hold a public auction to sell personal property described below belonging to those individuals listed below at
2015 JEEP 1C4RJGBG2N8636368 2022 JEEP 2HKRL18672H524104 2002 HOND 5TBRT34104S454456 2004 TOYT JF1GD61657H513755 2007 SUBA
21, 2024 24-02888N
June
FIRST INSERTION NOTICE
PUBLIC SALE Notice
given
07-192024
12
following vessel may be sold
public sale
storage
Tenant/Owner Raoul Sosa/ Permanent Wave II LLC 1987 Bertram HIN # BERS0625B787 (DO# 922643) sale to be held at HOTEL B INVESTORS, LLC/ DBA MADEIRA BEACH MOORINGS 13205 GULF BOULEVARD MADEIRA BEACH, FL 33708 Vessel May Be Redeemed/Released Before Sale Date MADEIRA BEACH MOORINGS reserves the right to bid June 21, 28, 2024 24-02893N NOTICE OF PUBLIC SALE PAGAN TOWING SERVICES & TRANSPORT gives notice that on 07/08/2024 at 08:00 AM the following vehicles(s) may be sold by public sale at 2500 55 AVE SAINT PETERSBURG FL 33714 to satisfy the lien for the amount owed on each vehicle for any recovery, towing, or storage services charges and administrative fees allowed pursuant to Florida statute 713.78. 3HGCM56334G707144 2004 HOND JHMED8351KS008646 1989 HOND LM242610B09964237 1996 LOMA XNA60109J586 1986 XNA June 21, 2024 24-02892N
OF
is hereby
that on
at
p.m. the
at
for
charges pursuant to F.S.328.17

NOTICE UNDER FICTITIOUS NAME LAW ACCORDING TO FLORIDA STATUTE NUMBER 865.09

NOTICE IS HEREBY GIVEN that the undersigned, desiring to engage in business under the Fictitious Name of Simpl Vending located at 7901 4th St. N STE 12105 in the City of St. Petersburg, Pinellas County, FL 33702 intends to register the said name with the Division of Corporations of the Department of State, Tallahassee, Florida.

Dated this 18th day of June, 2024. 137900SMS LLC June 21, 2024 24-02889N

FIRST INSERTION

NOTICE OF PUBLIC SALE

Extra Space Storage, on behalf of itself or its affiliates, Life Storage or Storage Express, will hold a public auction to sell personal property described below belonging to those individuals listed below at the location indicated: 4319 Duhme Rd. St Petersburg Fl. 33708

Auction date is 07/10/2024 @ 10:30 AM

Ronald Dennis Vine – boxes, excercise machine, cushions

The auction will be listed and advertised on www.storagetreasures.com. Purchases must be made with cash only and paid at the above referenced facility to complete the transaction. Extra Space Storage may refuse any bid and may rescind any purchase up until the winning bidder takes possession of the personal property. June 21, 28, 2024 24-02901N

NOTICE UNDER FICTITIOUS NAME LAW ACCORDING TO FLORIDA STATUTE NUMBER

865.09

NOTICE IS HEREBY GIVEN that the undersigned, desiring to engage in business under the Fictitious Name of Elevated Plumbing located at 791 Middlegate Rd in the City of Henderson, Pinellas County, NV 89011 intends to register the said name with the Division of Corporations of the Department of State, Tallahassee, Florida. Dated this 17th day of June, 2024. TLG SUMMIT PLUMBING LLC

June 21, 2024 24-02865N

NOTICE UNDER FICTITIOUS NAME LAW PURSUANT TO SECTION 865.09, FLORIDA STATUTES

NOTICE IS HEREBY GIVEN that the undersigned, desiring to engage in business under the fictitious name of Smile Again Therapy and Consulting Firm located at 199 Dali Blvd Unit 1003, in the County of Pinellas, in the City of Saint Petersburg, Florida 33701 intends to register the said name with the Division of Corporations of the Florida Department of State, Tallahassee, Florida.

Dated at Saint Petersburg, Florida, this 14th day of June, 2024. Cindy A Bennett June 21, 2024 24-02814N

NOTICE UNDER FICTITIOUS NAME LAW ACCORDING TO FLORIDA STATUTE NUMBER 865.09

NOTICE IS HEREBY GIVEN that the undersigned, desiring to engage in business under the Fictitious Name of Helm to Horizon located at 7901 4th St N STE 300 in the City of St. Petersburg, Pinellas County, FL 33702 intends to register the said name with the Division of Corporations of the Department of State, Tallahassee, Florida. Dated this 13th day of June, 2024. Helm to Horizon LLC June 21, 2024 24-02810N

NOTICE UNDER FICTITIOUS NAME LAW PURSUANT TO SECTION 865.09, FLORIDA STATUTES

NOTICE IS HEREBY GIVEN that the undersigned, desiring to engage in business under fictitious name of TREASURE ISLAND HOTEL AND MARINA located at 11125 Gulf Blvd, in the County of PINELLAS in the City of Treasure Island, Florida 33706 intends to register the said name with the Division of Corporations of the Florida Department of State, Tallahassee, Florida. Dated at PINELLAS, Florida, this 14th day of June, 2024. TREASURE ISLAND HOTEL LLC June 21, 2024 24-02818N

FIRST INSERTION

NOTICE OF PUBLIC SALE

Extra Space Storage, on behalf of itself or its affiliates, Life Storage or Storage Express, will hold a public auction to sell personal property described below belonging to those individuals listed below at the location indicated: Life Storage, 9999 Gandy Blvd. N. St. Petersburg, Fl. 33702 on July 10, 2024 at 11:00am.

Stefan Milosavljevic Table, Electronics, Box, Household items

Charles Youngkin Furniture, Mattress, Totes, Shoes, Boxes

Patricia Gannon Furniture, Household items, Mirror, Rug, Wall art, Boxes

The auction will be listed and advertised on www.storagetreasures.com. Purchases must be made with cash only and paid at the above referenced facility in order to complete the transaction. Extra Space Storage may refuse any bid and may rescind any purchase up until the winning bidder takes possession of the personal property. June 21, 28, 2024 24-02823N

NOTICE OF AUCTION FOR SURPLUS EQUIPMENT/TO: ALL INTERESTED PARTIES

AUCTION FOR SURPLUS EQUIPMENT FOR PINELLAS COUNTY, FLORIDA

Notice is hereby given that surplus equipment will be sold at Public Auction on July 1 – July 8th, 2024, as approved by the Board of County Commissioners. Miscellaneous surplus consisting of various types of computer equipment, office equipment and furniture will be sold via internet auction through GovDeals.com.

You may inspect items prior to placing a bid. Inspection Days and Hours are Monday, Wednesday, and Friday 12:00 pm to 3:30 only.

NOTE: For questions or to schedule an inspection, contact Jeremy Balthazar, Pinellas County Surplus at 727-464-7945

“PERSONS WITH DISABILITIES REQUIRING REASONABLE ACCOMMODATION TO PARTICIPATE IN THIS PROCEEDING/EVENT SHOULD CALL (727) 464-4062 (VOICE/TDD) FAX (727) 464-4157, NOT LATER THAN SEVEN DAYS PRIOR TO THE PROCEEDING.”

If you have any further questions, please contact the Administrative Service Department via email at Surplus@pinellas.gov

Kathleen Peters, Chair - Board of County Commissioners James McDermott - Surplus June 21, 28, 2024 24-02781N

FIRST INSERTION

NOTICE OF SALE

NOTICE OF PUBLIC Sale hereby by give that Pursuant to Florida Statute

I will sell the following personal property belonging to Demetriy Marrow Johnson described as: Household goods Personal effects.

At public sale to the

PINELLAS COUNTY

FIRST INSERTION

NOTICE OF PUBLIC SALE

The following personal property of THOMAS AITKEN, will, on July 3, 2024, at 10:30 a.m., at 2381 Gulf to Bay Blvd., Lot #810, Clearwater, Pinellas County, Florida 33765; be sold for cash to satisfy storage fees in accordance with Florida Statutes, Section 715.109: 1958 ANDE MOBILE HOME, VIN: 12234, TITLE NO.: 0007984804 and all other personal property located therein

PREPARED BY:

J. Matthew Bobo

Lutz, Bobo & Telfair, P.A.

2 North Tamiami Trail, Suite 500 Sarasota, Florida 34236

[PO#25466-5906] June 21, 28, 2024 24-02853N

NOTICE OF PUBLIC SALE

Bayside Auto Total Care LLC gives notice & intent to sell for non -payment of labor, service & storage fees the following vehicle on 07/22/2024 at 8:30 AM at 1400 L and R Industrial Blvd Ste A2, Tarpon Springs, FL 34689. Phone (727) 492-7568 for $6,711.07 due in cash on day of the sale to redeem the motor vehicle or satisfy the lien. Parties claiming interest have rights to a hearing prior to sale with Clerk of Court. Owner has rights to recover possession of vehicle for w/out judicial proceedings as pursuant to FL Statute 559.917. The lien claimed by the lienor is subject to enforcement pursuant to section 713.585 FL Statutes. Any proceeds recovered from sale over the amount of lien will be deposited w/ Clerk of the Court for disposition upon court order. Said Company reserves the right to accept or reject any & all bids. 2014 DODG VIN# 3C6TRVNG5EE114510 June 21, 2024 24-02822N

NOTICE OF PUBLIC SALE: RRY Inc dba YOHO’S AUTOMOTIVE AND TOWING gives notice that on listed Sale Dates at 09:00 AM the following vehicles may be sold by public sale at 9791 66TH ST. N PINELLAS PARK FL 33782 to satisfy the lien for the amount owed on each vehicle for any recovery, towing, or storage services charges and administrative fees allowed pursuant to Florida statute 713.78. Yoho’s Automotive reserves the right to accept/reject any or all bids.

JULY 3,2024

1FTRX17222NA62277 2002 FORD

1G1ZT52844F138506 2004 CHEV

1FAFP34N15W231447 2005 FORD WDBUF56X19B431044 2009 MERZ

JULY 15, 2024

1UYFS2483SA558617 1995 UTIL TRL

4F2YZ02Z16KM13157 2006 MAZDA

1FUJGLDR4ASAP0905 2010 FRHT

KNDJ23AU5L7703591 2020 KIA June 21, 2024 24-02857N

NOTICE OF PUBLIC SALE:

TRI J CO. TOWING & RECOVERY INC. gives notice that on 07/05/2024 at 10:00 AM the following vehicles(s) may be sold by public sale at 125 19TH ST. S. ST. PETERSBURG, FL. 33712 to satisfy the lien for the amount owed on each vehicle for any recovery, towing, or storage services charges and administrative fees allowed pursuant to Florida statute 713.78.

19UUA56833A078572 2003 ACUR 1GBKP37N5S3319567 1996 ALLE

LHJTLBBN7DB200229 2013 BASH

WBAPH7C56BE680805 2011 BMW

WBAVA33577PV65386 2007 BMW

1G4GF5E3XDF252835 2013 BUIC

1G6KD54Y93U216794 2003 CADI

53BCTEA1XLP011643 2020 CARX

2G1115S32G9136032 2016 CHEV

1GNEK13Z64R156147 2004 CHEV

1G1JC6SG0E4126697 2014 CHEV

3GNKBDR46PS115731 2023 CHEV

1G1PF5S93B7158499 2011 CHEV

1G1PC5SH1C7206163 2012 CHEVROLET

1B4GP44R0TB454801 1996 DODGE

1FM5K7D88FGC23231 2015 FORD

1FAFP42X53F376384 2003 FORD

1FTEF15N9RNA51818 1994 FORD

1FADP3F27GL338985 2016 FORD

1GTCS19X238103858 2003 GMC

1HGCM55364A137415 2004 HOND

1HGCP2F45AA031692 2010 HOND

NOTICE TO CREDITORS

IN THE CIRCUIT COURT IN AND FOR PINELLAS COUNTY, FLORIDA PROBATE DIVISION CASE NO. 24-005998-ES IN RE: THE ESTATE OF ROBERT GRIVOIS, Deceased

The administration of the estate of ROBERT GRIVOIS, deceased, whose date of death was June 6, 2022, File Number 24-005998-ES, is pending in the Circuit Court for Pinellas County, Florida, Probate Division, the address of which is 315 Court Street, Clearwater, FL 33756. The names and addresses of the personal representative and the personal representative’s attorney are set forth below.

All creditors of the decedent and other persons having claims or demands against decedent’s estate, on whom a copy of this notice is served must file their claims with this Court WITHIN THE LATER OF THREE MONTHS AFTER THE DATE OF THE FIRST PUBLICATION OF THIS NOTICE OR THIRTY DAYS AFTER THE DATE OF SERVICE OF A COPY OF THIS NOTICE ON THEM.

All other creditors of the decedent and other persons having claims or demands against the estate of the decedent, must file their claims with this

Court WITHIN THREE MONTHS AFTER THE DATE OF THE FIRST PUBLICATION OF THIS NOTICE. ALL CLAIMS NOT SO FILED WITHIN THE TIME PERIODS SET FORTH IN SECTION 733.702 OF THE FLORIDA PROBATE CODE WILL BE FOREVER BARRED. NOTWITHSTANDING THE TIME PERIOD SET FORTH ABOVE, ANY CLAIM FILED TWO (2) YEARS OR MORE AFTER THE DECEDENT’S DATE OF DEATH IS BARRED.

The date of the first publication of this Notice is June 21, 2024.

John Grivois Personal Representative 34 Mine Road Burlington, CT 06013

ROBERT C. THOMPSON, JR., Esquire

FBN #390089 SPN #02528094 gf@thompsonfernald.com

GARY M. FERNALD, Esquire FBN #395870 SPN #00910964 rt@thompsonfernald.com

THOMPSON & FERNALD, P.A. 611 Druid Road East, Suite 705

Clearwater, Florida 33756

Tel: (727) 447-2290

Fax: (727) 443-1424

Attorney for Personal Representative

June 21, 28, 2024 24-02898N

FIRST INSERTION

NOTICE TO CREDITORS IN THE CIRCUIT COURT FOR THE SIXTH JUDICIAL CIRCUIT IN AND FOR PINELLAS COUNTY, FLORIDA PROBATE DIVISION File No. 24-CP-004977-ES Division 3 IN RE: ESTATE OF ROSS C. ANDERSON Deceased.

The administration of the estate of ROSS C. ANDERSON, deceased, whose date of death was February 19, 2024, is pending in the Circuit Court for Pinellas County, Florida, Probate Division, the address of which is 545 First Avenue North, St. Petersburg, Florida 33701.

The names and addresses of the personal representative and the personal representative’s attorney are set forth below.

All creditors of the decedent and other persons having claims or demands against decedent’s estate on whom a copy of this notice is required to be served must file their claims with this court ON OR BEFORE THE LATER OF 3 MONTHS AFTER THE TIME OF THE FIRST PUBLICATION OF THIS NOTICE OR 30 DAYS AFTER THE DATE OF SERVICE OF A COPY OF THIS NOTICE ON THEM.

All other creditors of the decedent and other persons having claims or demands against decedent’s estate must file their claims with this court WITHIN 3 MONTHS AFTER THE DATE OF THE FIRST PUBLICATION OF THIS NOTICE.

ALL CLAIMS NOT FILED WITHIN THE TIME PERIODS SET FORTH IN FLORIDA STATUTES SECTION 733.702 WILL BE FOREVER BARRED. NOTWITHSTANDING THE TIME

NOTICE OF ADMINISTRATION

IN THE CIRCUIT COURT OF THE SIXTH JUDICIAL CIRCUIT IN AND FOR PINELLAS COUNTY, FLORIDA

PROBATE DIVISION UCN: 522024CP002221XXESPR REF NO: 24-002221-ES IN RE: ESTATE OF GEORGE HENRY SKIERA, Deceased.

PERIODS SET FORTH ABOVE, ANY CLAIM FILED TWO (2) YEARS OR MORE AFTER THE DECEDENT’S DATE OF DEATH IS BARRED. The date of first publication of this notice is June 21, 2024.

CO-PERSONAL REPRESENTATIVES

Wells Fargo Bank, N.A. By: Chantelle Walsh, Executive Director and Senior Estate Advisory Specialist, 4655 Executive Drive, Ste. 1000 MAC E2960-100 San Diego, California 92121

Catherine Fellowes, as Co-Petitioner 2039 Micheltorena Street Los Angeles, California 90039

ATTORNEYS FOR CO-PERSONAL REPRESENTATIVES /s/ Nicole Bell Cleland Nicole Cleland, Esq.

Attorney for Co-Personal Representative, Wells Fargo Bank, N.A. Florida Bar No. 124934 Legacy Protection Lawyers, LLP 100 - 2nd Avenue South, Suite 900 St. Petersburg, Florida 33701

Telephone: (727) 471-5868

Email: nbell@LegacyProtectionLawyers.com Ryan A. Walsh, Esq.

Attorney for Co-Personal Representative Catherine Fellowes Florida Bar No. 66271

Croke Fairchild Duarte & Beres LLC

180 N La Salle St., Suite 3400

Chicago, Illinois 60601-2807

Telephone: 312-650-8635

Email: rwalsh@crokefairchild.com June 21, 28, 2024 24-02819N

objections to the validity of a will or any codicils, venue or the jurisdiction of the Court must be filed no later than the earlier of the entry of any order of final discharge of the Personal Representatives or one (1) year after service of the Notice of Administration.

FIRST INSERTION NOTICE TO CREDITORS IN THE CIRCUIT COURT FOR PINELLAS COUNTY, FLORIDA PROBATE DIVISION File No. 24-003968-ES IN RE: ESTATE OF RUTH ANN STOVER a/k/a RUTH A. STOVER a/k/a RUTH STOVER, Deceased. The administration of the Estate of Ruth Ann Stover a/k/a Ruth A. Stover a/k/a Ruth Stover, deceased, whose date of death was January 19, 2023, is pending in the Circuit Court for Pinellas County, Florida, Probate Division, the address of which is 315 Court Street, Clearwater, Florida 33756. The names and addresses of the Personal Representative and the Personal Representative’s Attorney are set forth below. All creditors of the Decedent and other persons having claims or demands against Decedent’s Estate on whom a copy of this Notice is required to be served must file their claims with this Court ON OR BEFORE THE LATER OF 3 MONTHS AFTER THE TIME OF THE FIRST PUBLICATION OF THIS NOTICE OR 30 DAYS AFTER THE DATE OF SERVICE OF A COPY OF THIS NOTICE ON THEM. All other creditors of the Decedent and other persons having claims or demands against Decedent’s Estate must file their claims with this Court WITHIN 3 MONTHS AFTER THE DATE OF THE FIRST PUBLICATION OF THIS NOTICE. ALL CLAIMS NOT FILED WITHIN THE TIME PERIODS SET FORTH IN FLORIDA STATUTES SECTION 733.702 WILL BE FOREVER BARRED. NOTWITHSTANDING THE TIME PERIODS SET FORTH ABOVE, ANY CLAIM FILED TWO (2) YEARS OR MORE AFTER THE DECEDENT’S DATE OF DEATH IS BARRED. The date of first publication of this notice is June 21, 2024.

Personal Representative: Scott Stover 11483 76th Avenue Seminole, Florida 33772

Attorney for Personal Representative: Ashly Mae Guernaccini, Esq. Florida Bar Number: 1022329 314 S. Missouri Avenue, Suite 201 Clearwater, Florida 33756 Telephone: (727) 477-2255 Fax: (727) 234-8024

E-Mail: ashly@atcauselaw.com

Secondary E-Mail: ashley.cribbis@atcauselaw.com June 21, 28, 2024 24-02896N

FIRST INSERTION NOTICE TO CREDITORS IN THE CIRCUIT COURT FOR PINELLAS COUNTY, FLORIDA PROBATE DIVISION File No 22-012379-ES IN RE: ESTATE OF THOMAS A. PAQUETTE, Deceased.

The administration of the estate of Thomas A. Paquette, deceased, whose date of death was May 5, 2012, is pending in the Circuit Court for Pinellas County, Florida, Probate Division, the address of which is 315 Court Street, Clearwater, Florida 33756. The names and addresses of the personal representative and the personal representative’s attorney are set forth below.

NOTICE OF SALE Pursuant to Florida Statute 713.585 F.S. United American Lien & Recovery as agent w/ power of attorney will sell the following vehicle(s) to the highest bidder; net proceeds deposited with the clerk of court; owner/lienholder has right to hearing and post bond; owner may redeem vehicle for cash sum of lien; all auctions held in reserve; Inspect 1 week prior @ lienor facility; cash or cashier check; any person interested ph (954) 563-1999 Sale date July 12th, 2024 @ 10:00 am 3411 NW 9th Ave Ft Lauderdale FL 33309 39623 2014 Infiniti VIN#: JN1BV7AR7EM692549 Lienor: Infiniti of Clearwater 19740 US Highway 19 N Clearwater 727-275-8456 Lien Amt $4,509.20 June 21, 2024 24-02782N

1HGCP263X8A162943 2008 HOND

JHMZE2H71AS007825 2010 HOND

KMHDU46D39U713967 2009 HYUN KMHGC4DD0DU217679 2013 HYUN

1MEHM43185G613418 2005 MERC 4A3AJ56G3RE078966 1994 MITS

3N1CN7AP1FL951602 2015 NISS JN8AS58V89W446990 2009 NISS ESWHBNUPE10KW2105 2021 PILOTCAR 6G2VX12U56L552325 2006 PONTIAC JTEHD20VX50042046 2005 TOYOTA

JTDBR32E530035890 2003 TOYT

JTDZN3EU3E3298734 2014 TOYT

3VWLP7AJ9CM463732 2012 VOLK 3VWRL71K49M146772 2009 VOLK

L5YACBPZ7P1102596 2023 ZHNG

L5YACBPA4G1116854 2016 ZHNG

L5YACBPZ1P1102240 2023 ZHNG June 21, 2024 24-02848N

The administration of the Estate of GEORGE HENRY SKIERA, deceased, is pending in the Circuit Court for Pinellas County, Florida, Probate Division, the address of which is 315 Court Street, Clearwater, Florida 33756. The file number for the estate is 24-002221ES. The estate is testate and the date of the decedent’s Last Will and Testament is June 20, 2016. The name and address of the Personal Representative and the Personal Representative’s attorney is set forth below. The fiduciary lawyer-client privilege in Section 90.5021, Florida Statutes, applies with respect to the Personal Representative and any attorneys employed by the Personal Representative.

Any interested person on whom a copy of the Notice of Administration is served must file with the Court, on or before the date that is three (3) months after the date of service of a copy of the Notice of Administration on that person, any objection that challenges the validity of the will or any codicils, venue, or jurisdiction of the Court. The three (3) month time period may only be extended for estoppel based upon a misstatement by the Personal Representatives regarding the time period within which an objection must be filed. The time period may not be extended for any other reason, including affirmative representation, failure to disclose information, or misconduct by the Personal Representatives or any other person. Unless sooner barred by Section 733.212(3), Florida Statutes, all

Persons who may be entitled to exempt property under Section 732.402, Florida Statutes, will be deemed to have waived their rights to claim that property as exempt property unless a Petition for Determination of Exempt Property is filed by such persons or on their behalf on or before the later of the date that is four (4) months after the date of service of a copy of the Notice of Administration on such persons or the date that is 40 days after the date of termination of any proceedings involving the construction, admission to probate, or validity of the will or involving any other matter affecting any part of the exempt property. An election to take an elective share must be filed on or before the earlier of the date that is six (6) months after the date of service of a copy of the Notice of Administration on the surviving spouse, an agent under Chapter 709, Florida Statutes, or a guardian of the property of the surviving spouse; or the date that is two (2) years after the date of the decedent’s death.

Personal Representative: Anthony Kreger 6279 24th Avenue North St. Petersburg, Florida 33710

Attorney for Personal Representative: Katie Jackson, Esq. GROWNEY, MCKEOWN & BARBER, P.A. 3116 66th Street North

St. Petersburg, Florida 33710

Telephone: (727) 384-3800

Fax: (727) 343-1685

Service E-Mail: kjackson@barber-law.com

Florida Bar No.: 0100158 June 21, 28, 2024 24-02862N

All creditors of the decedent and other persons having claims or demands against decedent’s estate on whom a copy of this notice is required to be served must file their claims with this court ON OR BEFORE THE LATER OF 3 MONTHS AFTER THE TIME OF THE FIRST PUBLICATION OF THIS NOTICE OR 30 DAYS AFTER THE DATE OF SERVICE OF A COPY OF THIS NOTICE ON THEM. All other creditors of the decedent and other persons having claims or demands against decedent’s estate must file their claims with this court WITHIN 3 MONTHS AFTER THE DATE OF THE FIRST PUBLICATION OF THIS NOTICE. ALL CLAIMS NOT FILED WITHIN THE TIME PERIODS SET FORTH IN FLORIDA STATUTES SECTION 733.702 WILL BE FOREVER BARRED. NOTWITHSTANDING THE TIME PERIODS SET FORTH ABOVE, ANY CLAIM FILED TWO (2) YEARS OR MORE AFTER THE DECEDENT’S DATE OF DEATH IS

19 JUNE 21 – JUNE 27, 2024 BusinessObserverFL.com
--- ESTATE ---
BARRED. The date of first publication of this notice is June 21, 2024. Personal Representative: David A. Peek 10700 Johnson Blvd., Suite 1 Florida Attorney for Personal Representative: David A. Peek david@theseminolelegalcenter.com info@theseminolelegalcenter.com Florida Bar No. 0044660 The Legal Center 10700 Johnson Blvd., Suite 1 Seminole, Florida 33772 Telephone: (727) 393-8822 June 21, 28, 2024 24-02895N
highest
best bidder for cash at: 2939 Chancery Lane Clearwater, Florida 33769 On June 30,2024 at 1:00 PM Abdi R. Boozar-Jomehri 200 9th Ave. North Suite 200 Safety Harbor, FL 34695 Phone 727-725-2550
--- PUBLIC SALES ---
and
June 21, 28, 2024 24-02900N
FIRST INSERTION FIRST INSERTION

FIRST INSERTION

NOTICE OF ADMINISTRATION (Testate) IN THE CIRCUIT COURT OF THE SIXTH JUDICIAL CIRCUIT IN AND FOR PINELLAS COUNTY FLORIDA

PROBATE DIVISION

File No. 24-006081-ES Division ES IN RE: ESTATE OF ANDREW K. JENKINS Also Known As ANDREW JENKINS Deceased.

The administration of the estate of ANDREW K. JENKINS, also known as ANDREW JENKINS, deceased, is pending in the Circuit Court for Pinellas County, Florida, Probate Division, the address of which is 315 Court Street, Clearwater, Florida 33756. The estate is testate, and the date of the decedent’s Will and any Codicils are March 4, 2023. The names and addresses of the personal representative and the personal representative’s attorney are set forth below.

Any interested person on whom a copy of the notice of administration is served must object to the validity of the will (or any codicil), qualifications of the personal representative, venue, or jurisdiction of the court, by filing a petition of other pleading requesting relief in accordance with the Florida Probate Rules, WITHIN 3 MONTHS AFTER THE DATE OF SERVICE OF A COPY OF THE NOTICE ON THE OBJECTING PERSON, OR THOSE OBJECTIONS ARE FOREVER BARRED.

Any person entitled to exempt property is required to file a petition for determination of exempt property WITHIN THE TIME PROVIDED BY LAW OR THE RIGHT TO EXEMPT PROPERTY IS DEEMED WAIVED.

Any person entitled to elective share is required to file an election to take elective share WITHIIN THE TIME PROVIDED BY LAW OR THE RIGHT TO CLAIM AN ELECTIVE SHARE IS DEEMED WAIVED.

Personal Representative:

KELLY H. JENKINS BARTO, Personal Representative 12389 Piping Plover Avenue Brooksville, FL 34614

Attorney for Personal Representative: WESLEY R. STACKNIK, Attorney Florida Bar No. 0233341 6260 Seminole Boulevard Seminole, FL 33772-6837

Telephone: (727) 398-4496

E-Mail: stackniklaw@yahoo.com

June 21, 28, 2024 24-02804N

FIRST INSERTION

NOTICE TO CREDITORS (Summary Administration) IN THE CIRCUIT COURT FOR PINELLAS COUNTY, FLORIDA

PROBATE DIVISION File No. 24-5792-CP UCN: 522024CP005792XXESPR IN RE: ESTATE OF GEORGE ROBERT THOMAS, JR., Deceased.

TO ALL PERSONS HAVING CLAIMS OR DEMANDS AGAINST THE ABOVE ESTATE: You are hereby notified that an Order of Summary Administration has been entered in the estate of GEORGE ROBERT THOMAS, JR., deceased, File Number 24-5792-ES, by the Circuit Court for Pinellas County, Florida, Probate Division, the address of which is 315 Court Street, Clearwater, Florida 33756; that the decedent’s date of death was November 3, 2023; that the total value of the estate is $3,565.56, and that the names and addresses of those to whom it has been assigned by such order are: Names and Addresses Derrick Thomas 29 East 2nd Street Pottstown, PA 19464 ALL INTERESTED PERSONS ARE NOTIFIED THAT: All creditors of the estate of the decedent and persons having claims or demands against the estate of the decedent other than those for whom provision for full payment was made in the Order of Summary Administration must file their claims with this court WITHIN THE TIME PERIODS SET FORTH IN SECTION 733.702. ALL CLAIMS AND DEMANDS NOT SO FILED WILL BE FOREVER BARRED. NOTWITHSTANDING ANY OTHER APPLICABLE TIME PERIOD, ANY CLAIM FILED TWO (2) YEARS OR MORE AFTER THE DECEDENT’S DATE OF DEATH IS BARRED.

The date of first publication of this Notice is June 21, 2024. Persons Giving Notice:

DocuSigned by:

Barbara Morgan 6/3/2024 | 6:21 AM PDT

Barbara A. Morgan, Petitioner 341 Rose Garden Court Rock Hill, SC 29732

Attorney for Person Giving Notice:

LAW OFFICE OF TIMOTHY C. SCHULER

/s/ Timothy C. Schuler

Timothy C. Schuler, Esquire

SPN # 67698 / Fl. Bar No. 251992

8200 Seminole Boulevard

Seminole, Florida 33772

Telephone: (727) 398-0011

Primary e-mail: service@timschulerlaw.com

Attorney for Petitioners June 21, 28, 2024 24-02796N

FIRST INSERTION NOTICE TO CREDITORS IN THE CIRCUIT COURT FOR PINELLAS COUNTY, FLORIDA PROBATE DIVISION File No. 24-3784-ES IN RE: ESTATE OF ARRIE L. SANDERS, Deceased. The administration of the estate of ARRIE L. SANDERS, deceased, whose date of death was October 20, 2023, is pending in the Circuit Court for Pinellas County, Florida, Probate Division, the address of which is 315 Court Street, Clearwater, FL 33756. The names and addresses of the personal representative and the personal representative’s attorney are set forth below. All creditors of the decedent and other persons having claims or demands against decedent’s estate, on whom a copy of this notice is required to be served, must file their claims with this court ON OR BEFORE THE LATER OF 3 MONTHS AFTER THE TIME OF THE FIRST PUBLICATION OF THIS NOTICE OR 30 DAYS AFTER THE DATE OF SERVICE OF A COPY OF THIS NOTICE ON THEM.

All other creditors of the decedent and other persons having claims or demands against decedent’s estate must file their claims with this court WITHIN 3 MONTHS AFTER THE DATE OF THE FIRST PUBLICATION OF THIS NOTICE.

ALL CLAIMS NOT FILED WITHIN THE TIME PERIODS SET FORTH IN FLORIDA STATUTES SECTION 733.702 WILL BE FOREVER BARRED.

NOTWITHSTANDING THE TIME PERIOD SET FORTH ABOVE, ANY CLAIM FILED TWO (2) YEARS OR MORE AFTER THE DECEDENT’S DATE OF DEATH IS BARRED.

The date of first publication of this notice is: June 21, 2024. CALVIN B. SANDERS

Personal Representative 4640 6th Avenue South St. Petersburg, FL 33711

Robert D. Hines, Esq. Attorney for Personal Representative Florida Bar No. 0413550 Hines Norman Hines, P.L. 1312 W. Fletcher Avenue, Suite B Tampa, FL 33612 Telephone: 813-265-0100 Email: rhines@hnh-law.com

Secondary Email: jrivera@hnh-law.com June 21, 28, 2024 24-02813N

FIRST INSERTION NOTICE TO CREDITORS IN THE CIRCUIT COURT FOR PINELLAS COUNTY FLORIDA PROBATE DIVISION

UCN:522024CP00005371XXESXX

REF#24-005371-ES IN RE: ESTATE OF EARNEST S. ARMISTEAD, JR., Deceased.

The administration of the estate of EARNEST S. ARMISTEAD, JR., deceased, whose date of death was April 12, 2024, is pending in the Circuit Court for Pinellas County, Florida, Probate Division, the address of which is 315 Court Street, Clearwater, Florida 33756. The names and addresses of the personal representative and the personal representative’s attorney are set forth below.

All creditors of the decedent and other persons having claims or demands against decedent’s estate, on whom a copy of this notice is required to be served, must file their claims with this court ON OR BEFORE THE LATER OF 3 MONTHS AFTER THE TIME OF THE FIRST PUBLICATION OF THIS NOTICE OR 30 DAYS AFTER THE DATE OF SERVICE OF A COPY OF THIS NOTICE ON THEM.

All other creditors of the decedent and other persons having claims or demands against decedent’s estate must file their claims with this court WITHIN 3 MONTHS AFTER THE DATE OF THE FIRST PUBLICATION OF THIS NOTICE.

ALL CLAIMS NOT FILED WITHIN THE TIME PERIODS SET FORTH IN FLORIDA STATUTES SECTION 733.702 WILL BE FOREVER BARRED.

NOTWITHSTANDING THE TIME PERIOD SET FORTH ABOVE, ANY CLAIM FILED TWO (2) YEARS OR MORE AFTER THE DECEDENT’S DATE OF DEATH IS BARRED.

The date of first publication of this notice is: June 21, 2024. Signed on this 14th day of June, 2024.

/s/Earnest S. Armistead, III

EARNEST S. ARMISTEAD, III

Personal Representative 1331 Peach Tree Drive Dunedin, FL 34696

/s/Danielle McManus Noble Danielle McManus Noble

Attorney for Personal Representative Florida Bar No. #119451 McMANUS & McMANUS, P.A.

79 Overbrook Blvd.

Largo, Florida 33770-2899

Telephone: (727) 584-2128

Fax: (727) 586-2324

Email: danielle@ mcmanusestateplanning.com

PINELLAS COUNTY

FIRST INSERTION NOTICE TO CREDITORS IN THE CIRCUIT COURT OF THE SIXTH JUDICIAL CIRCUIT IN AND FOR PINELLAS COUNTY FLORIDA PROBATE DIVISION File No. 24-006081-ES Division ES IN RE: ESTATE OF ANDREW K. JENKINS Also Known As ANDREW JENKINS Deceased.

The administration of the estate of ANDREW K. JENKINS, also known as ANDREW JENKINS, deceased, whose date of death was March 27, 2024, and whose Social Security Number is xxx-xx-8574, is pending in the Circuit Court for Pinellas County, Florida, Probate Division, the address of which is 315 Court Street, Clearwater, Florida 33756. The names and addresses of the personal representative and the personal representative’s attorney are set forth below.

All creditors of the decedent and other persons having claims or demands against decedent’s estate on whom a copy of this notice is required to be served must file their claims with this Court WITHIN THE LATER OF 3 MONTHS AFTER THE TIME OF THE FIRST PUBLICATION OF THIS NOTICE OR 30 DAYS AFTER THE DATE OF SERVICE OF A COPY OF THIS NOTICE ON THEM.

All other creditors of the decedent and other persons having claims or demands against decedent’s estate must file their claims with this Court WITHIN 3 MONTHS AFTER THE DATE OF THE FIRST PUBLICATION OF THIS NOTICE.

ALL CLAIMS NOT SO FILED WILL BE FOREVER BARRED. NOTWITHSTANDING THE TIME

PERIOD SET FORTH ABOVE, ANY

CLAIM FILED TWO (2) YEARS OR MORE AFTER THE DECEDENT’S DATE OF DEATH IS BARRED.

The date of first publication of this notice is June 21, 2024.

Personal Representative: KELLY H. JENKINS BARTO Personal Representative 12389 Piping Plover Avenue Brooksville, FL 34614

Attorney for Personal Representative: WESLEY R. STACKNIK, Attorney Florida Bar No. 0233341 6260 Seminole Boulevard Seminole, FL 33772-6837

Telephone: (727) 398-4496

E-Mail: stackniklaw@yahoo.com

June 21, 28, 2024 24-02805N

FIRST INSERTION AMENDED NOTICE TO CREDITORS IN THE CIRCUIT COURT FOR PINELLAS COUNTY, FLORIDA PROBATE DIVISION

File No. 24-4748-ES Division 004 IN RE: ESTATE OF ELLEN CHRISTINA WATERS, A/K/A ELLEN C. WATERS Deceased.

The administration of the estate of Ellen Christina Waters, a/k/a Ellen C. Waters, deceased, whose date of death was November 1, 2023, is pending in the Circuit Court for Pinellas County, Florida, Probate Division, the address of which is 315 Court Street, Clearwater, Florida 33756. The names and addresses of the personal representative and the personal representative’s attorney are set forth below.

All creditors of the decedent and other persons having claims or demands against decedent’s estate on whom a copy of this notice is required to be served must file their claims with this court ON OR BEFORE THE LATER OF 3 MONTHS AFTER THE TIME OF THE FIRST PUBLICATION OF THIS NOTICE OR 30 DAYS AFTER THE DATE OF SERVICE OF A COPY OF THIS NOTICE ON THEM.

All other creditors of the decedent and other persons having claims or demands against decedent’s estate must file their claims with this court WITHIN 3 MONTHS AFTER THE DATE OF THE FIRST PUBLICATION OF THIS NOTICE.

ALL CLAIMS NOT FILED WITHIN THE TIME PERIODS SET FORTH IN FLORIDA STATUTES SECTION 733.702 WILL BE FOREVER BARRED. NOTWITHSTANDING THE TIME PERIODS SET FORTH ABOVE, ANY CLAIM FILED TWO (2) YEARS OR MORE AFTER THE DECEDENT’S DATE OF DEATH IS BARRED.

The date of first publication of this notice is June 21, 2024.

Personal Representative: /s/Jeannette Nauman Jeannette Nauman 10880 111th Place N. Seminole, Florida 33778

Attorney for Personal Representative: /s/Richard I. Kantner, Jr.

Richard I. Kantner, Jr.

Attorney for Petitioner

Florida Bar Number: 992763

424 – 22nd Avenue N.

St. Petersburg, FL 33704

Telephone: (727) 781-8201

Fax: (727) 683-9422

E-Mail: Rick@attorneykantner.com

FIRST INSERTION NOTICE TO CREDITORS IN THE CIRCUIT COURT OF THE SIXTH JUDICIAL CIRCUIT IN AND FOR PINELLAS COUNTY, FLORIDA PROBATE DIVISION Case No. 24-005595-ES IN RE: ESTATE OF STEVEN A. VISNAW, Deceased. The administration of the estate of STEVEN A. VISNAW, Deceased, Case No. 24-005595-ES, is pending in the Circuit Court of Pinellas County, Florida, Probate Division, the address of which is Clerk of the Circuit Court, Probate Division, 315 Court Street, Clearwater, Florida 33756. The names and addresses of the Personal Representative and the Personal Representative’s attorney are set forth below.

All creditors of the Decedent and other persons having claims or demands against Decedent’s estate on whom a copy of this notice is required to be served must file their claims with this court WITHIN THE LATER OF THREE (3) MONTHS AFTER THE DATE OF THE FIRST PUBLICATION OF THIS NOTICE OR THIRTY (30) DAYS AFTER THE DATE OF SERVICE OF A COPY OF THIS NOTICE ON THEM.

All other creditors of the Decedent and other persons who have claims or demands against the Decedent’s estate must file their claims with this court WITHIN THREE (3) MONTHS AFTER THE DATE OF THE FIRST PUBLICATION OF THIS NOTICE.

ALL CLAIMS NOT SO FILED WITHIN THE TIME PERIODS SET FORTH IN FLORIDA STATUTES SECTION 733.702 WILL BE FOREVER BARRED.

NOTWITHSTANDING THE TIME PERIODS SET FORTH ABOVE, ANY CLAIM FILED TWO (2) YEARS OR MORE AFTER THE DECEDENT’S DATE OF DEATH IS BARRED. THE DATE OF FIRST PUBLICATION OF THIS NOTICE IS JUNE 21, 2024. Personal Representative: Mindy Ramirez c/o George G. Pappas, Esquire Attorney for Personal Representative: GEORGE G. PAPPAS, ESQ. FBN 109312 1822 North Belcher Road, Suite 200 Clearwater, Florida 33765 Telephone: 727-447-4999 george@pappaspa.com admin@pappaspa.com paralegal@pappaspa.com June 21, 28, 2024 24-02806N

FIRST INSERTION NOTICE TO CREDITORS IN THE CIRCUIT COURT FOR PINELLAS COUNTY, FLORIDA

PROBATE DIVISION File No. 24-002151-ES IN RE: ESTATE OF CONRAD BANSPACH, JR. Deceased.

The administration of the estate of CONRAD BANSPACH, JR., deceased, whose date of death was January 26, 2024, is pending in the Circuit Court for Pinellas County, Florida, Probate Division, the address of which is 315 Court Street, Room 106, Clearwater, Florida 33756. The names and addresses of the personal representative and the personal representative’s attorney are set forth below.

All creditors of the decedent and other persons having claims or demands against decedent’s estate on whom a copy of this notice is required to be served must file their claims with this court ON OR BEFORE THE LATER OF THREE (3) MONTHS AFTER THE TIME OF THE FIRST PUBLICATION OF THIS NOTICE OR THIRTY (30) DAYS AFTER THE DATE OF SERVICE OF A COPY OF THIS NOTICE ON THEM.

All other creditors of the decedent and other persons having claims or demands against decedent’s estate must file their claims with this court WITHIN THREE (3) MONTHS AFTER THE DATE OF THE FIRST PUBLICATION OF THIS NOTICE.

ALL CLAIMS NOT FILED WITHIN THE TIME PERIODS SET FORTH IN FLORIDA STATUTES

SECTION 733.702 WILL BE FOREVER BARRED.

NOTWITHSTANDING THE TIME PERIODS SET FORTH ABOVE, ANY CLAIM FILED TWO (2) YEARS OR MORE AFTER THE DECEDENT’S DATE OF DEATH IS BARRED.

THE DATE OF FIRST PUBLICATION OF THIS NOTICE IS JUNE 21, 2024.

Personal Representative:

/S/ Alan Welling Banspach, Esq. ALAN WELLING BANSPACH, ESQ. 8191 College Parkway, Suite 304 Fort Myers, Florida 33936

Attorney for Personal Representative: /S/ Alan Welling Banspach, Esq. ALAN WELLING BANSPACH, ESQ. FLORIDA BAR NO. 0658200

The Law Office of Alan Banspach 8191 College Parkway, Suite 304 Fort Myers, Florida 33919

Telephone: (239) 482-1774

FIRST INSERTION

NOTICE TO CREDITORS IN THE CIRCUIT COURT FOR PINELLAS COUNTY, FLORIDA PROBATE DIVISION File No. 24-005619-ES Division 003 IN RE: ESTATE OF WILLIAM K. ZAHAROFF Deceased.

The administration of the Estate of William K. Zaharoff, deceased, whose date of death was April 1, 2024 is pending in the Circuit Court for Pinellas County, Florida Probate Division, the address of which is 315 Court Street, Clearwater, Florida 33756. The names and addresses of the personal representative and the personal representative’s attorney are set forth below.

All creditors of the decedent and other persons having claims or demands against decedent’s estate on whom a copy of this notice is required to be served must file their claims with this court ON OR BEFORE THE LATER OF 3 MONTHS AFTER THE TIME OF THE FIRST PUBLICATION OF THIS NOTICE OR 30 DAYS AFTER THE DATE OF SERVICE OF A COPY OF THIS NOTICE ON THEM.

All other creditors of the decedent and other persons having claims or demands against decedent’s estate must file their claims with this court WITHIN 3 MONTHS AFTER THE DATE OF THE FIRST PUBLICATION OF THIS NOTICE.

ALL CLAIMS NOT FILED WITHIN THE TIME PERIODS SET FORTH IN FLORIDA STATUTES SECTION 733.702 WILL BE FOREVER BARRED.

NOTWITHSTANDING THE TIME PERIODS SET FORTH ABOVE, ANY CLAIM FILED TWO (2) YEARS OR MORE AFTER THE DECEDENT’S DATE OF DEATH IS BARRED.

The date of first publication of this notice is June 21, 2024.

Personal Representative: Karen L. Grzenkowicz 2089 Scarsdale Drive Clearwater, FL 33764

Attorney for Personal Representative: John M. Sakellarides

Attorney for Personal Representative Florida Bar No. 935107

John M. Sakellarides, P.A. 29605 U.S. Hwy 19 North, Suite 110 Clearwater, FL 33761

Telephone: (727) 785-1228

E-mail: john@jsaklaw.com June 21, 28, 2024 24-02812N

FIRST INSERTION NOTICE TO CREDITORS IN THE CIRCUIT COURT FOR PINELLAS COUNTY, FLORIDA PROBATE DIVISION File No. 24-004069-ES Division 4 IN RE: ESTATE OF FREDERICK WALTER HARTMAN, SR. Deceased.

The administration of the estate of FREDERICK WALTER HARTMAN, SR., deceased, whose date of death was March 5, 2024, is pending in the Circuit Court for PINELLAS County, Florida, Probate Division, the address of which is 545 First Avenue North, St. Pete, Fl. 33701. The names and addresses of the personal representative and the personal representative’s attorney are set forth below.

All creditors of the decedent and other persons having claims or demands against decedent’s estate on whom a copy of this notice is required to be served must file their claims with this court ON OR BEFORE THE LATER OF 3 MONTHS AFTER THE TIME OF THE FIRST PUBLICATION OF THIS NOTICE OR 30 DAYS AFTER THE DATE OF SERVICE OF A COPY OF THIS NOTICE ON THEM.

All other creditors of the decedent and other persons having claims or demands against decedent’s estate must file their claims with this court WITHIN 3 MONTHS AFTER THE DATE OF THE FIRST PUBLICATION OF THIS NOTICE.

ALL CLAIMS NOT FILED WITHIN THE TIME PERIODS SET FORTH IN FLORIDA STATUTES SECTION 733.702 WILL BE FOREVER BARRED.

NOTWITHSTANDING THE TIME PERIODS SET FORTH ABOVE, ANY CLAIM FILED TWO (2) YEARS OR MORE AFTER THE DECEDENT’S DATE OF DEATH IS BARRED.

The date of first publication of this notice is June 21, 2024.

Personal Representative: Tammy Peet

TAMMY L. PEET 45 Jonesboro Street McDonough, Georgia 30253

Attorney for Personal Representative: /s/ Teresa S. Fitzpatrick TERESA S. FITZPATRICK

Attorney Florida Bar Number: 0033065 6560 9th Avenue North ST PETERSBURG, FL 33710

Telephone: (727) 727-381-8003

Fax: (727) 674-2549

FIRST INSERTION NOTICE TO CREDITORS IN THE CIRCUIT COURT OF THE SIXTH JUDICIAL CIRCUIT IN AND FOR PINELLAS COUNTY, FLORIDA PROBATE DIVISION UCN 522024CP005886XXESXX Ref No. 2024-005886-ES4 IN RE: ESTATE OF JOYCE E. WARD, Deceased. The administration of the estate of JOYCE E. WARD, deceased, whose date of death was December 16, 2023, is pending in the Circuit Court for Pinellas County, Florida, Probate Division, Ref No. 24-005886-ES4, the address of which is 315 Court Street, Room 106, Clearwater, Florida 33756. The name and address of the personal representative and the personal representative’s attorney are set forth below. All creditors of the decedent and other persons having claims or demands against decedent’s estate on whom a copy of this notice has been served must file their claims with this Court WITHIN THE LATER OF 3 MONTHS AFTER THE TIME OF THE FIRST PUBLICATION OF THIS NOTICE OR 30 DAYS AFTER THE DATE OF SERVICE OF A COPY OF THIS NOTICE ON THEM. All other creditors of the decedent and other persons having claims or demands against decedent’s estate must file their claims with this Court WITHIN 3 MONTHS AFTER THE DATE OF THE FIRST PUBLICATION OF THIS NOTICE. ALL CLAIMS NOT FILED WITHIN THE TIME PERIODS SET FORTH IN SECTION 733.702 OF THE FLORIDA PROBATE CODE WILL BE FOREVER BARRED. NOTWITHSTANDING THE TIME PERIODS SET FORTH ABOVE, ANY CLAIM FILED TWO (2) YEARS OR MORE AFTER THE DECEDENT’S DATE OF DEATH IS BARRED. The date of the first publication of this Notice is June 21, 2024. Personal Representative: DAWN J. WARD 6510 Dr. MLK, Jr., Street North St. Petersburg, Florida 33702 Attorney for Personal Representative: THOMAS G. TRIPP 4930 Park Boulevard, Suite 12 Pinellas Park, FL 33781 Phone (727) 544-8819

Facsimile (727) 546-0529

Email: tom@tomtripplaw.com FL Bar No. 0377597 June 21, 28, 2024 24-02815N

FIRST INSERTION NOTICE TO CREDITORS (Formal Administration) IN THE 6th JUDICIAL CIRCUIT COURT IN AND FOR PINELLAS COUNTY, FLORIDA. PROBATE DIVISION CASE NO.: 24-000719-ES DIVISION: 4 IN RE: The Estate of NILDA ZECCA, Deceased. TO ALL PERSONS HAVING CLAIMS OR DEMANDS AGAINST THE ABOVE ESTATE: The administration of the estate of NILDA ZECCA, deceased, whose date of death was August 26, 2023, and whose social security number is XXX-XX-2943, is pending in the Circuit Court for Pinellas County, Florida, Probate Division, the address of which is 315 Court Street, Clearwater, Florida 33756. The names and addresses of the Personal Representative and the Personal Representative’s attorney are set forth below. All creditors of the decedent and other persons having claims or demands against decedent’s estate on whom a copy of this notice is required to be served must file their claims with this court WITHIN THE LATER OF THREE (3) MONTHS AFTER THE TIME OF THE FIRST PUBLICATION OF THIS NOTICE OR THIRTY (30) DAYS AFTER THE DATE OF SERVICE OF A COPY OF THIS NOTICE ON THEM. All other creditors of the decedent and other persons having claims or demands against decedent’s estate must file their claims with this court WITHIN THREE (3) MONTHS AFTER THE DATE OF THE FIRST PUBLICATION OF THIS NOTICE. ALL CLAIMS NOT FILED WITH THE TIME PERIODS SET FORTH IN SECTION 733.702 OF THE FLORIDA PROBATE CODE WILL BE FOREVER BARRED. NOTWITHSTANDING THE TIME PERIODS SET FORTH ABOVE, ANY CLAIM FILED TWO (2) YEARS OR MORE AFTER THE DECEDENT’S DATE OF DEATH IS BARRED.

The date of first publication of this Notice is June 21, 2024. /s/ Vincent Zecca VINCENT ZECCA, As Personal Representative /s/ Steven E. Gurian . STEVEN E. GURIAN, ESQ., Attorney for Personal Representative EASY ESTATE PROBATE, PLLC 2601 South Bayshore Drive, 18th Floor Coconut Grove, Florida 33133

Secondary Email: lawoffice@ mcmanusestateplanning.com June 21, 28, 2024 24-02811N

Secondary E-Mail: Adrian@attorneykantner.com June 21, 28, 2024 24-02870N

Email: abanspach@comcast.com June 21, 28, 2024 24-02793N

E-Mail: teresa@fitzpatricklawyers.com Secondary E-Mail: chris@fitzpatricklawyers.com June 21, 28, 2024 24-02794N

Tel: 1-833-973-3279 Fax: 1-833-927-3279 E-mail: SG@EasyEstateProbate.com Florida Bar No. 101511 June 21, 28, 2024 24-02899N

21 JUNE 21 – JUNE 27, 2024 BusinessObserverFL.com
--- ESTATE ---

FIRST INSERTION NOTICE TO CREDITORS IN THE CIRCUIT COURT FOR PINELLAS COUNTY, FLORIDA

PROBATE DIVISION

File No. 24-005882-ES

Division 4 IN RE: ESTATE OF JOANNE G. KOTLARZ

Deceased. The administration of the estate of JOANNE G. KOTLARZ, deceased, whose date of death was February 9, 2024, is pending in the Circuit Court for PINELLAS County, Florida, Probate Division, the address of which is Pinellas County, Clerk of the Circuit Court, 315 Court Street, , Room 106, Clearwater, Florida 33756. The names and addresses of the personal representative and the personal representative’s attorney are set forth below.

All creditors of the decedent and other persons having claims or demands against decedent’s estate on whom a copy of this notice is required to be served must file their claims with this court ON OR BEFORE THE LATER OF 3 MONTHS AFTER THE TIME OF THE FIRST PUBLICATION OF THIS NOTICE OR 30 DAYS AFTER THE DATE OF SERVICE OF A COPY OF THIS NOTICE ON THEM. All other creditors of the decedent and other persons having claims or demands against decedent’s estate must file their claims with this court WITHIN 3 MONTHS AFTER THE DATE OF THE FIRST PUBLICATION OF THIS NOTICE.

ALL CLAIMS NOT FILED WITHIN THE TIME PERIODS SET FORTH IN FLORIDA STATUTES SECTION 733.702 WILL BE FOREVER BARRED.

NOTWITHSTANDING THE TIME

PERIODS SET FORTH ABOVE, ANY CLAIM FILED TWO (2) YEARS OR MORE AFTER THE DECEDENT’S DATE OF DEATH IS BARRED.

The date of first publication of this notice is June 21, 2024.

Personal Representative: KIM E. KEARNEY 1235 76th Street N St Petersburg, Florida 33710

Attorney for Personal Representative: FRANCIS M. LEE

Attorney Florida Bar Number: 0642215

4551 MAINLANDS BLVD W, STE F PINELLAS PARK, FL 33782

Telephone: (727) 576-1203

Fax: (727) 576-2161

E-Mail: patricia@frankleelaw.com

Secondary E-Mail: frank@frankleelaw.com

June 21, 28, 2024 24-02809N

FIRST INSERTION NOTICE TO CREDITORS IN THE CIRCUIT COURT FOR PINELLAS COUNTY, FLORIDA PROBATE DIVISION File No. 24-002310-ES IN RE: ESTATE OF LESTER C. CLESTER A/K/A LESTER CHARLES CLESTER, JR. Deceased.

The administration of the estate of LESTER C. CLESTER a/k/a LESTER CHARLES CLESTER, JR., deceased, whose date of death was September 23, 2023, is pending in the Circuit Court for Pinellas County, Florida, Probate Division, the address of which is 545 First Avenue North, St. Petersburg, FL 33701. The names and addresses of the personal representative and the personal representative’s attorney are set forth below. All creditors of the decedent and other persons having claims or demands against decedent’s estate on whom a copy of this notice is required to be served must file their claims with this court ON OR BEFORE THE LATER OF 3 MONTHS AFTER THE TIME OF THE FIRST PUBLICATION OF THIS NOTICE OR 30 DAYS AFTER THE DATE OF SERVICE OF A COPY OF THIS NOTICE ON THEM. All other creditors of the decedent and other persons having claims or demands against decedent’s estate must file their claims with this court WITHIN 3 MONTHS AFTER THE DATE OF THE FIRST PUBLICATION OF THIS NOTICE.

ALL CLAIMS NOT FILED WITHIN THE TIME PERIODS SET FORTH IN FLORIDA STATUTES SECTION 733.702 WILL BE FOREVER BARRED.

NOTWITHSTANDING THE TIME PERIODS SET FORTH ABOVE, ANY CLAIM FILED TWO (2) YEARS OR MORE AFTER THE DECEDENT’S DATE OF DEATH IS BARRED.

The date of first publication of this notice is June 21, 2024.

Personal Representative: Rhonda Monahan

(Apr 2, 2024 11:31 EDT)

RHONDA MICHELLE MONAHAN

c/o Starr Law Offices

8181 US Highway 19 North Pinellas Park, FL 33781

Attorney for Personal Representative: TED STARR

0779393 8181

FIRST INSERTION NOTICE TO CREDITORS IN THE CIRCUIT COURT IN AND FOR PINELLAS COUNTY, FLORIDA PROBATE DIVISION CASE NUMBER: 23-010308-ES IN RE: ESTATE OF DOROTHY ELIZABETH SNOW WHITE, Deceased

The administration of the estate of Dorothy Elizabeth Snow White, deceased, whose date of death was July 20, 2023, is pending in the Circuit Court for Pinellas County, Florida, Probate Division, the address of which is 315 Court Street, Clearwater, FL 33756. The names and addresses of the personal representative and the personal representative’s attorney are set forth below.

All creditors of the decedent and other persons having claims or demands against decedent’s estate on whom a copy of this notice is required to be served must file their claims with this court ON OR BEFORE THE LATER OF 3 MONTHS AFTER THE TIME OF THE FIRST PUBLICATION OF THIS NOTICE OR 30 DAYS AFTER THE DATE OF SERVICE OF A COPY OF THIS NOTICE ON THEM.

All other creditors of the decedent and other persons having claims or demands against decedent’s estate must file their claims with this court WITHIN 3 MONTHS AFTER THE DATE OF THE FIRST PUBLICATION OF THIS NOTICE.

ALL CLAIMS NOT FILED WITHIN THE TIME PERIODS SET FORTH IN FLORIDA STATUTES SECTION 733.702 WILL BE FOREVER BARRED.

NOTWITHSTANDING THE TIME PERIODS SET FORTH ABOVE, ANY CLAIM FILED TWO (2) YEARS OR MORE AFTER THE DECEDENT’S DATE OF DEATH IS BARRED.

The date of first publication of this notice is June 21, 2024. Executed on this 14th day of June, 2024.

NICOLE PATRICIA AULD

Personal Representative 4126 Fairview Road Andrews, NC 28901

Howard W. Mazloff

Attorney for Personal Representative 9200 S. Dadeland Boulevard Suite 214 Miami, Florida 33156 Tel: 305-670-6760

Email: lawhwm@bellsouth.net

By: Howard W. Mazloff

HOWARD W. MAZLOFF

Florida Bar No.: 138107 June 21, 28, 2024 24-02867N

FIRST INSERTION NOTICE TO CREDITORS IN THE CIRCUIT COURT OF THE SIXTH JUDICIAL CIRCUIT, IN AND FOR PINELLAS COUNTY, FLORIDA PROBATE DIVISION File Number: 2023-CP-012963 Division: 3 IN RE: THE ESTATE OF STEPHEN JAMES MATYAS, Deceased.

The administration of the estate of Stephen James Matyas, deceased, whose date of death was September 1, 2023, is pending in the Circuit Court for Pinellas County, Florida, Probate Division, the address of which is 315 Court Street, Clearwater, FL 33756. The names and addresses of the personal representative and the personal representative’s attorney are set forth below.

All creditors of the Decedent and other persons having claims or demands against Decedent’s estate on whom a copy of this notice is required to be served must file their claims with this Court WITHIN THE LATER OF 3 MONTHS AFTER THE TIME OF THE FIRST PUBLICATION OF THIS NOTICE OR 30 DAYS AFTER THE DATE OF SERVICE OF A COPY OF THIS NOTICE ON THEM.

All other creditors of the Decedent and other persons having claims or demands against Decedent’s estate must file their claims with this Court WITHIN 3 MONTHS AFTER THE DATE OF THE FIRST PUBLICATION OF THIS NOTICE.

ALL CLAIMS NOT FILED WITHIN THE TIME PERIODS SET FORTH IN SECTION 733.702 OF THE FLORIDA PROBATE CODE WILL BE FOREVER BARRED.

NOTWITHSTANDING THE TIME PERIODS SET FORTH ABOVE, ANY CLAIM FILED TWO (2) YEARS OR MORE AFTER THE DECEDENT’S DATE OF DEATH IS BARRED.

The date of first publication of this notice is June 21, 2024.

Personal Representative Thomas Matyas 467 Albee Farm Rd. Venice, FL 34285

THE HINSON LAW FIRM, P.A. /s/ Kathryn E. Stanfill

Matthew H. Hinson, Esq. Florida Bar No. 94017 Kathryn E. Stanfill, Esq. Florida Bar No. 1002636

300 West Adams St., Suite 500 Jacksonville, FL 32202

Phone: 904-527-1700

Fax: 904-355-8088

Matt@HinsonLawPA.com Kathryn@HinsonLawPA.com

Attorney for Personal Representative June 21, 28, 2024 24-02856N

FIRST INSERTION

NOTICE TO CREDITORS IN THE CIRCUIT COURT FOR PINELLAS COUNTY, FLORIDA PROBATE DIVISION File No. 24-005884-ES IN RE: ESTATE OF MARY GUGULSKI, a/k/a MARY MARIE GUGULSKI Deceased.

The administration of the estate of MARY GUGULSKI, also known as MARY MARIE GUGULSKI, deceased, whose date of death was June 25, 2023, is pending in the Circuit Court for PINELLAS County, Florida, Probate Division, the address of which is 545 First Avenue North, St. Petersburg, FL 33701. The names and addresses of the personal representative and the personal representative’s attorney are set forth below.

All creditors of the decedent and other persons having claims or demands against decedent’s estate on whom a copy of this notice is required to be served must file their claims with this court ON OR BEFORE THE LATER OF 3 MONTHS AFTER THE TIME OF THE FIRST PUBLICATION OF THIS NOTICE OR 30 DAYS AFTER THE DATE OF SERVICE OF A COPY OF THIS NOTICE ON THEM.

All other creditors of the decedent and other persons having claims or demands against decedent’s estate must file their claims with this court WITHIN 3 MONTHS AFTER THE DATE OF THE FIRST PUBLICATION OF THIS NOTICE.

ALL CLAIMS NOT FILED WITHIN THE TIME PERIODS SET FORTH IN FLORIDA STATUTES SECTION 733.702 WILL BE FOREVER BARRED. NOTWITHSTANDING THE TIME PERIODS SET FORTH ABOVE, ANY CLAIM FILED TWO (2) YEARS OR MORE AFTER THE DECEDENT’S DATE OF DEATH IS BARRED.

The date of first publication of this notice is June 21, 2024. KRISTINE STEPHENS P.O. Address: 8731 Kipling Avenue, Hudson, FL 34667

Personal Representative Attorneys for Personal Representative

Email Addresses: jcorrealaw@tampabay.rr.com

Florida Bar No. 330061 SPN 002142

Correa Legal Services, PLLC 275 96TH AVENUE NORTH SUITE 6 ST. PETERSBURG, FL 33702

Telephone: (727) 577-9876

June 21, 28, 2024 24-02860N

FIRST INSERTION NOTICE TO CREDITORS IN THE CIRCUIT COURT FOR PINELLAS COUNTY, FLORIDA PROBATE DIVISION File No. 24-005692-ES Division Probate IN RE: ESTATE OF WILLIAM H. SNELL Deceased.

The administration of the estate of WILLIAM H. SNELL, deceased, whose date of death was February 11, 2024, is pending in the Circuit Court for Pinellas County, Florida, Probate Division, the address of which is 315 Court Street, Clearwater, Florida 33756. The names and addresses of the personal representative and the personal representative’s attorney are set forth below.

All creditors of the decedent and other persons having claims or demands against decedent’s estate on whom a copy of this notice is required to be served must file their claims with this court ON OR BEFORE THE LATER OF 3 MONTHS AFTER THE TIME OF THE FIRST PUBLICATION OF THIS NOTICE OR 30 DAYS AFTER THE DATE OF SERVICE OF A COPY OF THIS NOTICE ON THEM.

All other creditors of the decedent and other persons having claims or demands against decedent’s estate must file their claims with this court WITHIN 3 MONTHS AFTER THE DATE OF THE FIRST PUBLICATION OF THIS NOTICE.

ALL CLAIMS NOT FILED WITHIN THE TIME PERIODS SET FORTH IN FLORIDA STATUTES SECTION 733.702 WILL BE FOREVER BARRED. NOTWITHSTANDING THE TIME PERIODS SET FORTH ABOVE, ANY CLAIM FILED TWO (2) YEARS OR MORE AFTER THE DECEDENT’S DATE OF DEATH IS BARRED.

The date of first publication of this notice is June 21, 2024.

Personal Representative: Wade Lee Snell 7329 7th Ave. N. St. Petersburg, FL 33710

Attorney for Personal Representative: /s/ Misa A. Everist

MISA A EVERIST, ESQ. Florida Bar No. 0196169

BASKIN EISEL RIGHTMYER

14020 Roosevelt Blvd., Suite 808 Clearwater, FL 33762

Telephone: 727-572-4545

Primary Email: meverist@baskineisel.com

Secondary Email: linda@baskineisel.com

Additional E-mail: eservice@baskineisel.com June 21, 28, 2024 24-02890N

FIRST INSERTION NOTICE TO CREDITORS IN THE CIRCUIT COURT FOR PINELLAS COUNTY, FLORIDA PROBATE DIVISION File No. 24-004661-ES IN RE: ESTATE OF MATTHEW JOSEPH HANNA, aka MATTHEW J. HANNA Deceased.

The administration of the estate of MATTHEW JOSEPH HANNA, also known as MATTHEW J. HANNA, deceased, whose date of death was February 1, 2024, is pending in the Circuit Court for Pinellas County, Florida, Probate Division, the address of which is 315 Court St., Clearwater, FL 33756. The names and addresses of the personal representative and the personal representative’s attorney are set forth below.

All creditors of the decedent and other persons having claims or demands against decedent’s estate, on whom a copy of this notice is required to be served, must file their claims with this court ON OR BEFORE THE LATER OF 3 MONTHS AFTER THE TIME OF THE FIRST PUBLICATION OF THIS NOTICE OR 30 DAYS AFTER THE DATE OF SERVICE OF A COPY OF THIS NOTICE ON THEM.

All other creditors of the decedent and other persons having claims or demands against decedent’s estate must file their claims with this court WITHIN 3 MONTHS AFTER THE DATE OF THE FIRST PUBLICATION OF THIS NOTICE.

ALL CLAIMS NOT FILED WITHIN THE TIME PERIODS SET FORTH IN FLORIDA STATUTES SECTION 733.702 WILL BE FOREVER BARRED.

NOTWITHSTANDING THE TIME PERIOD SET FORTH ABOVE, ANY CLAIM FILED TWO (2) YEARS OR MORE AFTER THE DECEDENT’S DATE OF DEATH IS BARRED.

The date of first publication of this notice is: June 21, 2024.

JULIE M. GODDARD

Personal Representative PO Box 273792 Tampa, FL 33688

Robert D. Hines, Esq.

Attorney for Personal Representative Florida Bar No. 413550

Hines Norman Hines, P.L. 315 S. Hyde Park Ave

Tampa, FL 33606

Telephone: 813-251-8659

Email: rhines@hnh-law.com

Secondary Email: rhartt@hnh-law.com

June 21, 28, 2024 24-02820N

FIRST INSERTION NOTICE TO CREDITORS IN THE CIRCUIT COURT IN AND FOR PINELLAS COUNTY, FLORIDA PROBATE DIVISION File No. 24-005609-ES Division: Probate IN RE: ESTATE OF JOSEPH EDWARD TAKACS (A/K/A JOSEPH E. TAKACS A/K/A JOSEPH TAKACS) Deceased.

The administration of the estate of Joseph Edward Takacs (a/k/a Joseph E. Takacs a/k/a Joseph Takacs), deceased, whose date of death was August 9, 2024, is pending in the Circuit Court for Pinellas County, Florida, Probate Division, the address of which is 315 Court Street, Room 106, Clearwater, Florida 33756. The names and addresses of the personal representative and the personal representative’s attorney are set forth below.

All creditors of the decedent and other persons having claims or demands against decedent’s estate on whom a copy of this notice is required to be served must file their claims with this court ON OR BEFORE THE LATER OF 3 MONTHS AFTER THE TIME OF THE FIRST PUBLICATION OF THIS NOTICE OR 30 DAYS AFTER THE DATE OF SERVICE OF A COPY OF THIS NOTICE ON THEM.

All other creditors of the decedent and other persons having claims or demands against decedent’s estate must file their claims with this court WITHIN 3 MONTHS AFTER THE DATE OF THE FIRST PUBLICATION OF THIS NOTICE.

ALL CLAIMS NOT FILED WITHIN THE TIME PERIODS SET FORTH IN FLORIDA STATUTES SECTION 733.702 WILL BE FOREVER BARRED.

NOTWITHSTANDING THE TIME PERIODS SET FORTH ABOVE, ANY CLAIM FILED TWO (2) YEARS OR MORE AFTER THE DECEDENT’S DATE OF DEATH IS BARRED.

The date of first publication of this notice is June 21, 2024.

Personal Representative: James Edward Takacs 415 Denise Street

Tarpon Springs, Florida 34689

Attorney for Personal Representative: Tanya Bell, Esq.

Florida Bar Number: 52924

Bell Law Firm, P.A.

2364 Boy Scout Road, Suite 200

Clearwater, Florida 33763

Telephone: (727) 287-6316

Fax: (727) 287-6317

TanyaBell@BellLawFirmFlorida.com

AMullins@BellLawFirmFlorida.com

June 21, 28, 2024 24-02861N

FIRST INSERTION

NOTICE TO CREDITORS IN THE CIRCUIT COURT FOR PINELLAS COUNTY, FLORIDA PROBATE DIVISION File No. 24-005095-ES Division Probate IN RE: ESTATE OF ANN FELICIA REDMAN a/k/a ANN F. REDMAN Deceased.

The administration of the estate of Ann Felicia Redman, deceased, whose date of death was January 25, 2024, is pending in the Circuit Court for Pinellas County, Florida, Probate Division, the address of which is 315 Court Street, Room 106, Clearwater, Florida 33756.

The names and addresses of the personal representative and the personal representative’s attorney are set forth below.

All creditors of the decedent and other persons having claims or demands against decedent’s estate on whom a copy of this notice is required to be served must file their claims with this court ON OR BEFORE THE LATER OF 3 MONTHS AFTER THE TIME OF THE FIRST PUBLICATION OF THIS NOTICE OR 30 DAYS AFTER THE DATE OF SERVICE OF A COPY OF THIS NOTICE ON THEM.

All other creditors of the decedent and other persons having claims or demands against decedent’s estate must file their claims with this court WITHIN 3 MONTHS AFTER THE DATE OF THE FIRST PUBLICATION OF THIS NOTICE.

ALL CLAIMS NOT FILED WITHIN THE TIME PERIODS SET FORTH IN FLORIDA STATUTES SECTION 733.702 WILL BE FOREVER BARRED.

NOTWITHSTANDING THE TIME PERIODS SET FORTH ABOVE, ANY CLAIM FILED TWO (2) YEARS OR MORE AFTER THE DECEDENT’S DATE OF DEATH IS BARRED.

The date of first publication of this notice is June 21, 2024.

Personal Representative: Felicia A. Seferi 11355 114th Avenue Largo, Florida 33778

Attorney for Personal Representative: Megan R. Hamisevicz Trask Daigneault, LLP 1001 S Ft Harrison Avenue, Suite 201 Clearwater, Florida 33756

Telephone: (727) 733-0494

E-mail Address: megan@cityattorneys.legal Florida Bar No. 1023766 June 21, 28, 2024 24-02816N

FIRST INSERTION NOTICE TO CREDITORS IN THE CIRCUIT COURT OF THE SIXTH JUDICIAL CIRCUIT, IN AND FOR PINELLAS COUNTY, FLORIDA PROBATE DIVISION File Number: 2023-CP-2296

Division: Probate IN RE: THE ESTATE OF SABRINA RENEE STANSEL, Deceased.

The administration of the estate of Sabrina Renee Stansel, deceased, whose date of death was August 25, 2021, is pending in the Circuit Court for Pinellas County, Florida, Probate Division, the address of which is 315 Court Street, Clearwater, FL 33756. The names and addresses of the personal representative and the personal representative’s attorney are set forth below.

All creditors of the Decedent and other persons having claims or demands against Decedent’s estate on whom a copy of this notice is required to be served must file their claims with this Court WITHIN THE LATER OF 3 MONTHS AFTER THE TIME OF THE FIRST PUBLICATION OF THIS NOTICE OR 30 DAYS AFTER THE DATE OF SERVICE OF A COPY OF THIS NOTICE ON THEM.

All other creditors of the Decedent and other persons having claims or demands against Decedent’s estate must file their claims with this Court WITHIN 3 MONTHS AFTER THE DATE OF THE FIRST PUBLICATION OF THIS NOTICE.

ALL CLAIMS NOT FILED WITHIN THE TIME PERIODS SET FORTH IN SECTION 733.702 OF THE FLORIDA PROBATE CODE WILL BE FOREVER BARRED.

NOTWITHSTANDING THE TIME PERIODS SET FORTH ABOVE, ANY CLAIM FILED TWO (2) YEARS OR MORE AFTER THE DECEDENT’S DATE OF DEATH IS BARRED.

The date of first publication of this notice is June 21, 2024.

Personal Representative Jasmine Ford 3256 Fox Hill Drive Clearwater, FL 33761

THE HINSON LAW FIRM, P.A. /s/ Kathryn E. Stanfill

Matthew H. Hinson, Esq. Florida Bar No. 94017

Kathryn E. Stanfill, Esq. Florida Bar No. 1002636

300 West Adams St., Suite 500 Jacksonville, FL 32202

Phone: 904-527-1700

Fax: 904-355-8088 Matt@HinsonLawPA.com Kathryn@HinsonLawPA.com

Attorney for Personal Representative June 21, 28, 2024 24-02855N

FIRST INSERTION NOTICE TO CREDITORS IN THE CIRCUIT COURT FOR PINELLAS COUNTY, FLORIDA PROBATE DIVISION File No. 24-004224-ES Division 3 IN RE: ESTATE OF STEPHEN LEN TUCKER Deceased. The administration of the estate of Stephen Len Tucker, deceased, whose date of death was January 7, 2024, is pending in the Circuit Court for Pinellas County, Florida, Probate Division, the address of which is 315 Court Street, Room 400, Clearwater, FL 33756. The names and addresses of the personal representative and the personal representative’s attorney are set forth below. All creditors of the decedent and other persons having claims or demands against decedent’s estate on whom a copy of this notice is required to be served must file their claims with this court ON OR BEFORE THE LATER OF 3 MONTHS AFTER THE TIME OF THE FIRST PUBLICATION OF THIS NOTICE OR 30 DAYS AFTER THE DATE OF SERVICE OF A COPY OF THIS NOTICE ON THEM. All other creditors of the decedent and other persons having claims or demands against decedent’s estate must file their claims with this court WITHIN 3 MONTHS AFTER THE DATE OF THE FIRST PUBLICATION OF THIS NOTICE. ALL CLAIMS NOT FILED WITHIN THE TIME PERIODS SET FORTH IN FLORIDA STATUTES SECTION 733.702 WILL BE FOREVER BARRED. NOTWITHSTANDING THE TIME PERIODS SET FORTH ABOVE, ANY CLAIM FILED TWO (2) YEARS OR MORE AFTER THE DECEDENT’S DATE OF DEATH IS BARRED. The date of first publication of this notice is June 21, 2024. Personal Representative: Mary Welch 4125 Park Street N, Lot 1046 Saint Petersburg, Florida 33709 Attorney for Personal Representative: Rodolfo

FIRST INSERTION NOTICE TO CREDITORS IN THE CIRCUIT COURT OF THE SIXTH JUDICIAL CIRCUIT IN AND FOR PINELLAS COUNTY, FLORIDA PROBATE DIVISION FILE NO. 2024-004216-ES

JUDGE: CAMPBELL IN RE: ESTATE OF VIRGINIA IDA HANSEN, DECEASED. The administration of the Estate of Virginia Ida Hansen, deceased, whose date of death was March 13, 2024, is pending in the Circuit Court for Pinellas County, Florida, Probate Division, the address of which is 315 Court Street, Clearwater, FL 33756. The names and addresses of the personal representative and the personal representative’s attorney are set forth below. All creditors of the decedent and other persons having claims or demands against decedent’s estate on whom a copy of this notice is required to be served must file their claims with this court ON OR BEFORE THE LATER OF 3 MONTHS AFTER THE TIME OF THE FIRST PUBLICATION OF THIS NOTICE OR 30 DAYS AFTER THE DATE OF SERVICE OF A COPY OF THIS NOTICE ON THEM. All other creditors of the decedent and other persons having claims or demands against decedent’s estate must file their claims with this court WITHIN 3 MONTHS AFTER THE DATE OF THE FIRST PUBLICATION OF THIS NOTICE. ALL CLAIMS NOT FILED WITHIN THE TIME PERIODS SET FORTH IN FLORIDA STATUTES SECTION 733.702 WILL BE FOREVER BARRED. NOTWITHSTANDING THE TIME PERIODS SET FORTH ABOVE, ANY CLAIM FILED TWO (2) YEARS OR MORE AFTER THE DECEDENT’S DATE OF DEATH IS BARRED. The date of first publication of this notice is June 21, 2024.

Personal Representative: MARY RICKERT 2598 Gary Circle, Unit 406 Dunedin, Florida 34698

Attorneys for Personal Representative: DALLAS E. KLEMMER, ESQ.

Attorney Florida Bar Number: 1044938 QUARLES & BRADY LLP 1395 Panther Lane, Suite 300 Naples, Florida 34109 Telephone: (239) 262-5959

Fax: (239) 659-5004

E-Mail: dallas.klemmer@quarles.com Secondary E-Mail: dseymour@quarles.com June 21, 28, 2024 24-02897N

June 21, 28, 2024 24-02792N

22 JUNE 21 – JUNE 27, 2024 BUSINESS OBSERVER PINELLAS COUNTY --- ESTATE ---
Suarez Jr. Esq., Attorney Florida Bar Number: 013201 9100 South Dadeland Blvd, Suite 1620 Miami, Florida 33156 Telephone: 305-448-4244 E-Mail: rudy@suarezlawyers.com Secondary E-Mail: eca@suarezlawyers.com June 21, 28, 2024 24-02845N
Attorney Florida Bar
US Highway 19 North Pinellas Park,
33781 Telephone: (727) 578-5030 Fax: (727) 578-9811
shelly@starrlawoffices.com
Number:
FL
E-Mail:

FIRST INSERTION NOTICE TO CREDITORS IN THE CIRCUIT COURT FOR PINELLAS COUNTY, FLORIDA

PROBATE DIVISION

UCN: 522024CP005881XXESPR

Reference number: 24-005881-ES

Division: 003

IN RE: ESTATE OF ANITA C. GEISMAR

Deceased. The administration of the Estate of ANITA C. GEISMAR, deceased, File Number UCN: 522024CP005881XX-

ESPR, is pending in the Circuit Court for Pinellas County, Florida, Probate Division, the address of which is 315 Court Street, Clearwater, Florida 33756. The name and address of the personal representative and the personal representative’s attorney are set forth below. All creditors of the decedent and other persons having claims or demands against decedent’s estate on whom a copy of this notice is required to be served must file their claims with this court WITHIN THE LATER OF 3 MONTHS AFTER THE DATE OF THE FIRST PUBLICATION OF THIS NOTICE OR 30 DAYS AFTER THE DATE OF SERVICE OF A COPY OF

THIS NOTICE ON THEM. All other creditors of the decedent and other persons having claims or demands against decedent’s estate must file their claims with this court WITHIN 3 MONTHS AFTER THE DATE OF THE FIRST PUBLICATION OF THIS NOTICE. ALL CLAIMS NOT FILED WITHIN THE TIME PERIODS SET FORTH IN SECTION 733.702 OF THE FLORIDA PROBATE CODE WILL BE FOREVER BARRED.

NOT WITHSTANDING THE TIME PERIODS SET FORTH ABOVE, ANY CLAIM FILED TWO (2) YEARS OR MORE AFTER THE DECEDENT’S DATE OF DEATH IS BARRED.

The date of the first publication of this Notice is June 21, 2024

Personal Representative: JOHN JOSEPH DEIGHAN 3209 Landmark Dr., #4409 Clearwater, FL 33761

Attorney for Personal Representative: THOMAS W. REZANKA 2672 West Lake Road Palm Harbor, FL 34684 Telephone: (727) 787-3020 June 21, 28, 2024 24-02902N

--- ACTIONS ---

FIRST INSERTION

NOTICE OF ACTION IN THE COUNTY COURT OF THE SIXTH JUDICIAL CIRCUIT OF FLORIDA IN AND FOR PINELLAS COUNTY, FLORIDA CASE NO: 24-1490-CO SCOTSDALE VILLA CONDOMINIUM I ASSOCIATION, INC., a Florida not-for-profit corporation, Plaintiff, vs. EARL D. DOIG, CLARA BURK DOIG FAMILY TRUST and ANY UNKNOWN OCCUPANTS IN POSSESSION, Defendants.

TO: EARL D. DOIG and CLARA BURK DOIG FAMILY TRUST YOU ARE NOTIFIED that an action to enforce and foreclose a Claim of Lien for condominium assessments and to foreclose any claims which are inferior to the right, title and interest of the Plaintiff, SCOTSDALE VILLA CONDOMINIUM I ASSOCIATION, INC., herein in the following described property: Unit No. 1653, SCOTSDALE VILLA CONDOMINIUM I, and an undivided interest or share in the common elements appurtenant thereto, in accordance with and subject to the Covenants, Conditions, Restrictions, Easements, Terms and other Provisions of the Declaration of Condominium, as recorded in O.R. Book 5150, Pages 1339-1393, and any amendments thereto, and the plat thereof as recorded in Condominium Plat Book 47, Pages 124-125, of the Public Records of Pinellas County, Flor-

ida. With the following street address: 1188 Montrose Place, Dunedin, Florida, 34698 has been filed against you and you are required to serve a copy of your written defenses, if any, on Stephan C. Nikoloff, Esquire, of Greenberg Nikoloff, P.A., whose address is 1964 Bayshore Blvd., Dunedin, FL, 34698, on or before a date which is within thirty (30) days after the first publication of this Notice in the Business Observer, and file the original with the Clerk of this Court either before service on Plaintiff’s attorney or immediately thereafter; otherwise a default will be entered against you for the relief demanded in the Complaint.

If you are a person with a disability who needs any accommodation in order to participate in this proceeding, you are entitled, at no cost to you, to the provision of certain assistance. Please contact the Human Rights Office, 400 S. Ft. Harrison Ave., Ste. 300, Clearwater, FL 33756, (727) 464-4062 (V/TDD) at least 7 days before your scheduled court appearance, or immediately upon receiving this notification if the time before the scheduled appearance is less than 7 days; if you are hearing or voice impaired, call 711. WITNESS my hand and the seal of this Court on this 11th day of June, 2024.

KEN BURKE CLERK AND COMPTROLLER

By: /s/ Thomas Smith Deputy Clerk Greenberg Nikoloff, P.A. 1964 Bayshore Blvd., Suite A Dunedin, FL 34698 (727) 738-1100 June 21, 28, 2024 24-02800N

FIRST INSERTION

NOTICE OF ACTION IN THE CIRCUIT COURT OF THE SIXTH JUDICIAL CIRCUIT IN AND FOR PINELLAS COUNTY, FLORIDA CIVIL DIVISION CASE NO. 23-7950-CI

CODA LEANNE BRUCE, Plaintiff, vs. GWENDOLYN MILLER, SHIRLEY SWAIN, LINDA VEVERKA, SHARON ANN DENNIS, JENNIFER LYNN HELMS, CHARLETTA SHAHAN, PATRICIA BOSSE, NATHAN SHAHAN, BRIDGETT CANFIELD, UNKNOWN HEIRS, DEVISEES, GRANTEES, ASSIGNEES, LIENORS, CREDITORS, TRUSTEES OR OTHER PARTIES CLAIMING BY, THROUGH, UNDER, OR AGAINST SHIRLEY ABRAM, JAMES W. BAKER, JEAN STANLEY, UNKNOWN HEIRS, DEVISEES, GRANTEES, ASSIGNEES, LIENORS, CREDITORS, TRUSTEES OR OTHER PARTIES CLAIMING BY, THROUGH, UNDER, OR AGAINST

ABDOU N. SICKREY, UNKNOWN

SUCCESSOR TRUSTEE OF THE ABDOU N. SICKREY TRUST

DATED May 22, 2007, NAZIH MAAROUF, JANA MAAROUF, JEFFREY MILES MORIARTY Defendants. To: UNKNOWN HEIRS, DEVISEES, GRANTEES, ASSIGNEES, LIENORS, CREDITORS, TRUSTEES OR OTHER PARTIES CLAIMING BY, THROUGH, UNDER, OR AGAINST SHIRLEY ABRAM, ADDRESS: UNKNOWN UNKNOWN HEIRS, DEVISEES, GRANTEES, ASSIGNEES, LIENORS, CREDITORS, TRUSTEES OR OTHER PARTIES CLAIMING BY, THROUGH, UNDER, OR AGAINST ABDOU N. SICKREY, ADDRESS: UNKNOWN

UNKNOWN SUCCESSOR TRUSTEE OF THE ABDOU N. SICKREY TRUST

DATED May 22, 2007, ADDRESS: UNKNOWN

JEFFREY MILES MORIARTY, LAST KNOWN ADDRESS: 3241 N. 26th PLACE, PHOENIX, AZ 85016

JEAN STANLEY, LAST KNOWN AD-

PINELLAS COUNTY

FIRST INSERTION

NOTICE OF ACTION

(Formal Notice by Publication in Business Observer) IN THE CIRCUIT COURT FOR PINELLAS COUNTY, FLORIDA

PROBATE DIVISION File No. 18-005290-GD IN RE: GUARDIANSHIP OF BEVERLY JANE ROGERS-SILVERIRA

TO: EDWIN THOMAS ROGERS

YOU ARE NOTIFIED of an action for the GUARDIANSHIP OF BEVERLY

JANE ROGERS-SILVERIA and that an Amended Petition for Discharge and Final Report and Accounting have been filed in this Court proceeding. You may have a beneficial interest in the outcome of the proceedings and you are required to serve a copy of your written defenses, if any, on the Guardian and Guardian’s attorney, MISA A. EVERIST, ESQ., of BASKIN EISEL RIGHTMYER, 14020 Roosevelt Blvd, Suite 808, Clearwater, Florida 33762, telephone (727) 5724545, within 30 days of publication of this Notice and to file the original of the written defenses with the Clerk of this Court either before service or immediately thereafter. Failure to serve and file written defenses as required may result in a judgment or order for the relief demanded, without further notice.

“If you are a person with a disability who needs any accommodation in order to participate in this proceeding, you are entitled, at no cost to you, to the provision of certain assistance. Please contact the Human Rights Office, 400 S. Ft. Harrison Ave., Ste. 300, Clearwater, FL 33756, (727) 464-4062 (V/ TDD) at least 7 days before your scheduled court appearance, or immediately upon receiving this notification if the time before the scheduled appearance is less than 7 days; if you are hearing or voice impaired, call 711.”

Signed this 14th day of June, 2024.

First Publication on: June 21, 2024

KEN BURKE, CLERK OF THE CIRCUIT COURT AND COMPTROLLER

Clerk of the Court

06/14/2024 04:10:42 PM

By: Veronica Decker DEPUTY CLERK (SEAL) CIRCUIT COURT

PINELLAS COUNTY, FLORIDA

June 21, 28; July 5, 12, 2024 24-02843N

FIRST INSERTION

NOTICE OF ACTION

(Formal Notice by Publication in Business Observer) IN THE CIRCUIT COURT FOR PINELLAS COUNTY, FLORIDA

PROBATE DIVISION File No. 24-585-ES IN RE: ESTATE OF BEVERLY JANE ROGERS-SILVERIA Deceased.

TO: EDWIN THOMAS ROGERS YOU ARE NOTIFIED that you are a beneficiary of the ESTATE OF BEVERLY JANE ROGERS-SILVERIA.

DRESS: 4528 OLD GRAND RIVER TRAIL, ADA, MI 49301

You are notified that an action for declaratory relief has been filed against you with regard to the following property in Pinellas County, Florida: Lot five (5) less the south seven (7) feet and Lot six (6) less the northerly forty-four and one-half (44 ½) feet, Block “S”, Fifth Addition to Gulf Shores, according to Plat Book 23, Page 67, on file and of record in the Office of the Clerk of the Circuit Court, in and for Pinellas County, Florida and you are required to serve a copy of your written defenses, if any to it on Jessica E. Loshin, Esq., the Plaintiff’s attorney, whose address is 7650 W. Courtney Campbell Causeway, Suite 1150, Tampa, Florida, 33607, on or before 30 Days after 1st Publication and file the original with the Clerk of this court either before service upon Plaintiff’s attorney or immediately thereafter; otherwise a default will be entered against you for the relief demanded in the complaint.

“If you are a person with a disability who needs any accommodation in order to participate in this proceeding, you are entitled, at no cost to you, to the provision of certain assistance. Please contact the Human Rights Office, 400 S. Ft. Harrison Ave., Ste. 300, Clearwater, FL 33756, (727) 464-4062 (V/TDD) at least 7 days before your scheduled court appearance, or immediately upon receiving this notification if the time before the scheduled appearance is less than 7 days; if you are hearing or voice impaired, call 711.”

Dated this 17 day of June, 2024.

Clerk of The Circuit Court KEN BURKE

Clerk of the Circuit Court and Comptroller 315 Court Street Clearwater, Pinellas County, FL 33756-5165 By: /s/ Thomas Smith As Deputy Clerk Jessica E. Loshin, Esq., the Plaintiff’s attorney, 7650 W. Courtney Campbell Causeway, Suite 1150, Tampa, Florida, 33607 June 21, 28; July 5, 12, 2024 24-02875N

A Petition for Administration has been filed in this Estate proceeding. To receive your beneficial interest in the Estate please contact the attorney for the Personal Representative, whose name and address are: MISA A. EVERIST, ESQ., of BASKIN EISEL RIGHTMYER, 14020 Roosevelt Blvd, Suite 808, Clearwater, Florida 33762, within 30 days of publication. Failure to contact the attorney for the Personal Representative may result in the deposit of your beneficial interest with the Clerk of the Court. In addition, you are required to serve a copy of your written defenses, if any, on the Personal Representative and Personal Representative’s attorney, MISA A.

EVERIST, ESQ., of BASKIN EISEL

RIGHTMYER, 14020 Roosevelt Blvd, Suite 808, Clearwater, Florida 33762, telephone (727) 572-4545, within 30 days of publication and to file the original of the written defenses with the clerk of this court either before service or immediately thereafter. Failure to serve and file written defenses as required may result in a judgment or order for the relief demanded, without further notice.

“If you are a person with a disability who needs any accommodation in order to participate in this proceeding, you are entitled, at no cost to you, to the provision of certain assistance. Please contact the Human Rights Office, 400 S. Ft. Harrison Ave., Ste. 300, Clearwater, FL 33756, (727) 464-4062 (V/ TDD) at least 7 days before your scheduled court appearance, or immediately upon receiving this notification if the time before the scheduled appearance is less than 7 days; if you are hearing or voice impaired, call 711.”

Signed this 14TH day of June, 2024. First Publication on: June 21, 2024 KEN BURKE, CLERK OF THE CIRCUIT COURT AND COMPTROLLER Clerk of the Court By: DEPUTY CLERK (SEAL) CIRCUIT COURT

PINELLAS COUNTY, FLORIDA

June 21, 28; July 5, 12, 2024 24-02844N

What is a public notice?

A public notice is information intended to inform citizens of government activities. The notice should be published in a forum independent of the government, readily available to the public, capable of being securely archived and verified by authenticity.

The West Orange Times carries public notices in Orange County, Florida.

Are internet-only legal notices sufficient?

No. While the internet is clearly a useful resource, websites should not be used as the sole source of a legal notice.

Websites, whether controlled by a government body or a private firm, are not independent, archived, readily available or independently verified.

Newspaper legal notices fulfills all of those standards.

Are there different types of legal notices?

Simply put, there are two basic types - Warning Notices and Accountability Notices.

Warning notices inform you when government, or a private party authorized by the government, is about to do something that may affect your life, liberty or pursuit of happiness. Warning notices typically are published more than once over a certain period.

Accountability notices are designed to make sure citizens know details about their government. These notices generally are published one time, and are archived for everyone to see. Accountability is key to efficiency in government.

Who

benefits from legal notices?

You do. Legal notices are required because a government body or corporation wants to take action that can affect individuals and the public at large.

When the government is about to change your life, or your property or assets are about to be taken, public notices in newspapers serve to alert those affected.

How much do legal notices cost?

The price for notices in the printed newspaper must include all costs for publishing the ad in print, on the newspaper’s website and to www.floridapublicnotices.com.

The public is well-served by notices published in a community newspaper.

23 JUNE 21 – JUNE 27, 2024 BusinessObserverFL.com
--- ACTIONS ---
--- ESTATE --VIEW NOTICES ONLINE AT Legals.BusinessObserverFL.com To publish your legal notice email: legal@businessobserverfl.com
LV18237_V24

FIRST INSERTION

RE-NOTICE OF FORECLOSURE SALE IN THE CIRCUIT COURT FOR THE SIXTH JUDICIAL CIRCUIT IN AND FOR PINELLAS COUNTY, FLORIDA

CIRCUIT CIVIL DIVISION

CASE NO.: 19-003105-CI

THE BANK OF NEW YORK

MELLON FKA THE BANK OF NEW YORK, AS TRUSTEE FOR THE CERTIFICATEHOLDERS OF THE CWALT, INC., ALTERNATIVE

LOAN TRUST 2006-OA19, MORTGAGE PASS-THROUGH CERTIFICATES, SERIES

2006-OA19

Plaintiff(s), vs. TERENCE D KELLY A/K/A

TERENCE KELLY; et al.,

Defendant(s).

NOTICE IS HEREBY GIVEN THAT, pursuant to the Order Granting Motion to Reschedule Foreclosure Sale entered on June 12, 2024 in the above-captioned action, the Clerk of Court, Ken Burke, will sell to the highest and best bidder for cash at www.pinellas.realforeclose. com in accordance with Chapter 45, Florida Statutes on the 31st day of July, 2024 at 10:00 AM on the following described property as set forth in said Final Judgment of Foreclosure or order, to wit: Lot 14, Block 17, Westlake Village Replat of Tracts 5 and 6, according to the map or plat thereof as recorded in Plat Book 76, Page(s) 78, Public Records of Pinellas County, Florida. Property address: 70 Citrus Court, Palm Harbor, FL 34683 Any person claiming an interest in the surplus from the sale, if any, other than the property owner as of the date of the lis pendens, must file a claim before the clerk reports the surplus as unclaimed.

Pursuant to the Fla. R. Jud. Admin. 2.516, the above signed counsel for Plaintiff designates attorney@

padgettlawgroup.com as its primary email address for service, in the above styled matter, of all pleadings and documents required to be served on the parties. AMERICANS WITH DISABILITIES ACT: IF YOU ARE A PERSON WITH A DISABILITY WHO NEEDS ANY ACCOMMODATION IN ORDER TO PARTICIPATE IN THIS PROCEEDING, YOU ARE ENTITLED, AT NO COST TO YOU, TO THE PROVISION OF CERTAIN ASSISTANCE. PLEASE CONTACT THE HUMAN RIGHTS OFFICE. 400 S. FT. HARRISON AVE., STE. 500 CLEARWATER, FL 33756, (727) 464-4062 V/TDD; OR 711 FOR THE HEARING IMPAIRED. CONTACT SHOULD BE INITIATED AT LEAST SEVEN DAYS BEFORE THE SCHEDULED COURT APPEARANCE, OR IMMEDIATELY UPON RECEIVING THIS NOTIFICATION IF THE TIME BEFORE THE SCHEDULED APPEARANCE IS LESS THAN SEVEN DAYS. THE COURT DOES NOT PROVIDE TRANSPORTATION AND CANNOT ACCOMMODATE SUCH REQUESTS. PERSONS WITH DISABILITIES NEEDING TRANSPORTATION TO COURT SHOULD CONTACT THEIR LOCAL PUBLIC TRANSPORTATION PROVIDERS FOR INFORMATION REGARDING TRANSPORTATION SERVICES. Respectfully submitted, Heather L. Griffiths PADGETT LAW GROUP HEATHER GRIFFITHS, ESQ. Florida Bar # 91444 6267 Old Water Oak Road, Suite 203 Tallahassee, FL 32312 (850) 422-2520 (telephone) (850) 422-2567 (facsimile)

attorney@padgettlawgroup.com

Attorney for Plaintiff TDP File No. 20-028829-1 June 21, 28, 2024 24-02894N

FIRST INSERTION

NOTICE OF FORECLOSURE SALE IN THE CIRCUIT COURT OF THE SIXTH JUDICIAL CIRCUIT, IN AND FOR PINELLAS COUNTY, FLORIDA CASE NO. 23-000352-CI

FLAGSTAR BANK, N.A., Plaintiff, vs. AMY L. MINNICK; CRAIG D. MINNICK; , et al.

Defendants

NOTICE IS HEREBY GIVEN pursuant to a Uniform Final Judgment of Foreclosure dated March 26, 2024, and entered in Case No. 23-000352-CI, of the Circuit Court of the Sixth Judicial Circuit in and for PINELLAS County, Florida. FLAGSTAR BANK, N.A., is Plaintiff and CRAIG D. MINNICK; AMY L. MINNICK, are defendants. Ken Burke, Clerk of Circuit Court for PINELLAS, County Florida will sell to the highest and best bidder for cash Via the Internet at www.pinellas. realforeclose.com, at 10:00 a.m., on the 30TH day of JULY, 2024, the following described property as set forth in said Final Judgment, to wit:

THE WEST 64.5 FEET OF LOT 2 AND THE EAST 11.5 FEET OF LOT 3, BLOCK 9, SNELL SHORES MANOR, ACCORDING TO THE MAP OR PLAT THEREOF, AS RECORDED IN PLAT BOOK 36, PAGE 75, OF THE PUBLIC RECORDS OF PINELLAS COUNTY, FLORIDA.

Any person claiming an interest in the surplus from the sale, if any, other than the property owner as of the date of the lis pendens must file a claim before the clerk reports the surplus as unclaimed.

If you are a person with a disability who needs any accommodation in order to participate in this proceeding, you are entitled, at no cost to you, to the provision of certain assistance. Please contact: Human Rights Office, 400 S. Ft. Harrison Ave., Ste. 500 Clearwater, FL 33756, telephone number (727)

NOTICE OF FORECLOSURE SALE IN THE CIRCUIT COURT OF THE SIXTH JUDICIAL CIRCUIT, IN AND FOR PINELLAS COUNTY, FLORIDA

CASE NO. 21-004248-CI

DEUTSCHE BANK NATIONAL TRUST COMPANY, AS TRUSTEE FOR AMERIQUEST MORTGAGE SECURITIES INC., QUEST TRUST 2004-X2, ASSET BACKED CERTIFICATES, SERIES 2004-X2, Plaintiff, vs. APRIL WADE A/K/A APRIL M. WADE A/K/A APRIL MICHELLE WADE, et al.

Defendants NOTICE IS HEREBY GIVEN pursuant to a Final Judgment of Foreclosure dated April 1, 2024, and entered in Case No. 21-004248CI, of the Circuit Court of the Sixth Judicial Circuit in and for PINELLAS County, Florida. DEUTSCHE BANK NATIONAL TRUST COMPANY, AS TRUSTEE FOR AMERIQUEST MORTGAGE SECURITIES INC., QUEST TRUST 2004-X2, ASSET BACKED CERTIFICATES, SERIES 2004-X2, is Plaintiff, and APRIL WADE A/K/A APRIL M. WADE A/K/A APRIL MICHELLE WADE; AVA WADE; GULF COAST ASSISTANCE, LLC; FINANCIAL PORTFOLIOS II, INC., AS ASSIGNEE OF PROVIDIAN - WASHINGTON MUTUAL; STATE OF FLORIDA DEPARTMENT OF REVENUE; CLERK OF THE CIRCUIT COURT OF PINELLAS COUNTY, FLORIDA; MARTERIO JONES; MARTEZ JONES; URSULA ROBERSON; ASHLEY NERO; A. L. A., A MINOR BY AND THROUGH HER FATHER AND NATURAL GUARDIAN

464-4062 V/TDD least 7 days before your scheduled court appearance, or immediately upon receiving this notification if the time before the scheduled appearance is less than 7 days; if you are hearing or voice impaired, call 711. Si usted es una persona minusválida que necesita algún acomodamiento para poder participar en este procedimiento, usted tiene derecho, sin tener gastos propios, a que se le provea cierta ayuda. Tenga la amabilidad de ponerse en contacto con Human Rights Office, 400 S. Ft. Harrison Ave., Ste. 500 Clearwater, FL 33756; teléfono número number (727) 464-4062 V/TDD, por lo menos 7 días antes de la cita fijada para su comparecencia en los tribunales, o inmediatamente después de recibir esta notificación si el tiempo antes de la comparecencia que se ha programado es menos de 7 días; si usted tiene discapacitación del oído o de la voz, llame al 711. Si ou se yon moun ki enfim ki bezwen akomodasyon pou w ka patisipe nan pwosedi sa, ou kalifye san ou pa gen okenn lajan pou w peye, gen pwovizyon pou jwen kèk èd. Tanpri kontakte Human Rights Office kòòdonatè pwogram Lwa pou ameriken ki Enfim yo nan Tribinal Konte Pinellas la ki nan 400 S. Ft. Harrison Ave., Ste. 500 Clearwater, FL 33756; telefòn li se (727) 4644062 V/TDD, nan 7 jou anvan dat ou gen randevou pou parèt nan tribinal la, oubyen imedyatman apre ou fin resevwa konvokasyon an si lè ou gen pou w parèt nan tribinal la mwens ke 7 jou; si ou gen pwoblèm pou w tande oubyen pale, rele 711.

Dated this 12th day of June, 2024 VAN NESS LAW FIRM, PLC 1239 E. Newport Center Drive, Suite 110 Deerfield Beach, Florida 33442

Ph: (954) 571-2031

PRIMARY EMAIL: Pleadings@vanlawfl.com /s/ Mark Elia

Mark C. Elia, Esq. Florida Bar #: 695734 FB17793-23/sap June 21, 28, 2024 24-02802N

NORTH 30 FEET ALONG THE WEST LOT LINE, THENCE RUN SOUTHEAST 46.10 FEET TO A POINT ON THE SOUTH LINE OF SAID LOT 71, SAID POINT BEING 35 FEET EAST OF THE POINT OF BEGINNING, THENCE RUN WEST 35 FEET TO THE POINT OF BEGINNING.

NOTICE OF SALE PURSUANT TO CHAPTER 45 IN THE CIRCUIT COURT OF THE 6TH JUDICIAL CIRCUIT, IN AND FOR PINELLAS COUNTY, FLORIDA CASE NO.: 2019-CA-004597

U.S. BANK TRUST NATIONAL ASSOCIATION, AS TRUSTEE OF THE BUNGALOW SERIES IV TRUST , Plaintiff, v. MELISSA CALVIN-MORELOCK, et al, Defendant(s). NOTICE IS HEREBY GIVEN that pursuant to an Order Resetting Foreclosure Sale entered on May 28, 2024, and entered in Case No. 2019CA-004597 in the Circuit Court of the 6th Judicial Circuit in and for Pinellas County, Florida, wherein MELISSA CALVIN-MORELOCK, is the Defendants. The Clerk of the Court, Ken Burke, will sell to the highest bidder for cash at https://pinellas. realforeclose.com, on July 23, 2024, at 10:00 a.m., the following described real property as set forth in said Final Judgment, to wit: LOT 14, BLOCK 10, ORANGE RIDGE SUBDIVISION, UNIT 3, ACCORDING TO THE PLAT THEREOF AS RECORDED IN PLAT BOOK 45, PAGE 91, PUBLIC RECORDS OF PINELLAS COUNTY, FLORIDA. and commonly known as: 11357 116TH AVE, LARGO, FL 33778 (the “Property”).

ANY PERSON CLAIMING AN INTEREST IN THE SURPLUS FROM THE SALE, IF ANY, OTHER THAN THE PROPERTY OWNER AS OF THE DATE OF THE LIS PENDENS MUST FILE A CLAIM WITHIN 60 DAYS AFTER THE SALE. IMPORTANT If you are a person with a disability who needs an accommodation in order to participate in this proceeding, you are entitled,

FIRST INSERTION

NOTICE OF FORECLOSURE SALE IN THE CIRCUIT COURT OF THE SIXTH JUDICIAL CIRCUIT IN AND FOR PINELLAS COUNTY, FLORIDA GENERAL JURISDICTION DIVISION Case No. 18-008078-CI Freedom Mortgage Corporation, Plaintiff, vs. MARCUS L. LITTLE A/K/A

MARCUS LEBRON LITTLE A/K/A

MARCUS LITTLE, et al., Defendants. NOTICE IS HEREBY GIVEN pursuant to the Final Judgment and/ or Order Rescheduling Foreclosure Sale, entered in Case No. 18-008078CI of the Circuit Court of the SIXTH Judicial Circuit, in and for Pinellas County, Florida, wherein Freedom Mortgage Corporation is the Plaintiff and MARCUS L. LITTLE A/K/A

MARCUS LEBRON LITTLE A/K/A

MARCUS LITTLE; ROOSEVELT BOULEVARD TOWNHOMES PROPERTY OWNERS

63 AND 64, PUBLIC RECORDS OF PINELLAS COUNTY, FLORIDA.

TAX ID: 18-30-17-76527-0000020

FLCourtDocs@brockandscott.com By /s/Justin J. Kelley Justin J. Kelley, Esq. Florida Bar No. 32106 File # 20-F01412 June 21, 28, 2024 24-02847N FIRST INSERTION

DONALD F. ANDERSON, JR.; D. F. A. III, A MINOR BY AND THROUGH HIS FATHER AND NATURAL GUARDIAN DONALD F. ANDERSON, JR.; UNKNOWN

HEIRS OF DELORUS E. WADE

DEAZA A/K/A DELORUS DEAZA

A/K/A DELORUS E. WADE A/K/A

DELORUS WADE DEAZA A/K/A

DELORUS D. DEAZA;, are defendants.

Ken Burke, Clerk of Circuit Court for PINELLAS, County Florida will sell to the highest and best bidder for cash Via the Internet at www.pinellas. realforeclose.com, at 10:00 a.m., on the 31ST day of JULY, 2024, the following described property as set forth in said Final Judgment, to wit:

LOT 71, W.E. RICHARDSON’S SUB, ACCORDING TO THE PLAT THEREOF RECORDED IN PLAT BOOK 1, PAGE 6, OF THE PUBLIC RECORDS OF PINELLAS COUNTY, FLORIDA.

LESS AND EXCEPT A PORTION OF LOT 71, W.E RICHARDSON’S SUB., ACCORDING TO THE PLAT THEREOF RECORDED IN PLAT BOOK 1, PAGE 6, PUBLIC RECORDS OF PINELLAS COUNTY, FLORIDA, DESCRIBED AS FOLLOWS: BEGINNING AT THE SOUTHWEST CORNER OF SAID LOT 71 THENCE RUN

Any person claiming an interest in the surplus from the sale, if any, other than the property owner as of the date of the lis pendens must file a claim before the clerk reports the surplus as unclaimed. If you are a person with a disability who needs any accommodation in order to participate in this proceeding, you are entitled, at no cost to you, to the provision of certain assistance. Please contact: Human Rights Office, 400 S. Ft. Harrison Ave., Ste. 500 Clearwater, FL 33756, telephone number (727) 464-4062 V/TDD least 7 days before your scheduled court appearance, or immediately upon receiving this notification if the time before the scheduled appearance is less than 7 days; if you are hearing or voice impaired, call 711. Si usted es una persona minusválida que necesita algún acomodamiento para poder participar en este procedimiento, usted tiene derecho, sin tener gastos propios, a que se le provea cierta ayuda. Tenga la amabilidad de ponerse en contacto con Human Rights Office, 400 S. Ft. Harrison Ave., Ste. 500 Clearwater, FL 33756; teléfono número number (727) 464-4062 V/TDD, por lo menos 7 días antes de la cita fijada para su comparecencia en los tribunales, o inmediatamente después de recibir esta notificación si el tiempo antes de la comparecencia que se ha programado es menos de 7 días; si usted tiene discapacitación del oído o de la voz, llame al 711.

Si ou se yon moun ki enfim ki bezwen akomodasyon pou w ka patisipe nan pwosedi sa, ou kalifye san ou pa gen okenn lajan pou w peye, gen pwovizyon pou jwen kèk èd. Tanpri kontakte Human Rights Office kòòdonatè pwogram

Lwa pou ameriken ki Enfim yo nan

Tribinal Konte Pinellas la ki nan 400 S. Ft. Harrison Ave., Ste. 500 Clearwater, FL 33756; telefòn li se (727) 4644062 V/TDD, nan 7 jou anvan dat ou gen randevou pou parèt nan tribinal la, oubyen imedyatman apre ou fin resevwa konvokasyon an si lè ou gen pou w parèt nan tribinal la mwens ke 7 jou; si ou gen pwoblèm pou w tande oubyen pale, rele 711.

Dated this 12th day of June, 2024 VAN NESS LAW FIRM, PLC 1239 E. Newport Center Drive, Suite 110 Deerfield Beach, Florida 33442 Ph: (954) 571-2031

PRIMARY EMAIL: Pleadings@vanlawfl.com /s/ Mark Elia Mark C. Elia, Esq. Florida Bar #: 695734 PHH16707-21/sap June 21, 28, 2024 24-02803N

ASSOCIATION, INC.; TIFFANY L. MCGILL; SASHA WARRIOR; State of Florida Department of Revenue; Unknown Tenant whose name is fictitious to account for parties in possession are the Defendants, that Ken Burke, Pinellas County Clerk of Court will sell to the highest and best bidder for cash at, www.pinellas. realforeclose.com, beginning at 10:00 AM on the 3rd day of September, 2024, the following described property as set forth in said Final Judgment, to wit:

LOT 2, ROOSEVELT BOULEVARD TOWNHOMES, ACCORDING TO THE MAP OR PLAT THEREOF AS RECORDED IN PLAT BOOK 131, PAGES

Any person claiming an interest in the surplus from the sale, if any, other than the property owner as of the date of the lis pendens must file a claim before the clerk reports the surplus as unclaimed. If you are a person with a disability who needs any accommodation in order to participate in this proceeding, you are entitled, at no cost to you, to the provision of certain assistance. Please contact the Human Rights Office. 400 S. Ft. Harrison Ave., Ste. 500 Clearwater, FL 33756, (727) 464-4062 (V/TDD) at least 7 days before your scheduled court appearance, or immediately upon receiving this notification if the time before the scheduled appearance is less than 7 days; if you are hearing impaired call 711. The court does not provide transportation and cannot accommodate for this service. Persons with disabilities needing transportation to court should contact their local public transportation providers for information regarding transportation services. Dated this 14th day of June, 2024. BROCK & SCOTT, PLLC Attorney for Plaintiff 2001 NW 64th St, Suite 130 Ft. Lauderdale, FL 33309 Phone: (954) 618-6955, ext. 4766 Fax: (954) 618-6954

FIRST INSERTION

NOTICE OF FORECLOSURE SALE NOTICE IS HEREBY GIVEN pursuant to Uniform Final Judgment of Foreclosure dated June 6, 2024 entered in Civil Case No. 24-00162CI of the Circuit Court of the 6TH Judicial Circuit in and for Pinellas County, Florida, wherein A&D MORTGAGE LLC is Plaintiff and THE HANK GROUP LLC, et al, are Defendants. The Clerk, KEN BURKE, shall sell to the highest and best bidder for cash at Pinellas County’s On-Line Public Auction website: https://www.pinellas.realforeclose. com, at 10:00 AM on JULY 17, 2024, in accordance with Chapter 45, Florida Statutes, the following described property located in PINELLAS County, Florida, as set forth in said Uniform Final Judgment of Foreclosure, to-wit: Condominium Parcel: Unit B-5, of VILLA VALENCIA GARDEN, A CONDOMINIUM, according to the plat thereof recorded in Condominium Plat Book 38, Page(s) 10-14, and being further described in that certain Declaration of Condominium recorded in Official Records Book 4943, Page 477 et seq., together with such additions and amendments to said Declaration and Condominium Plat as from time to time may be made and together with an undivided interest or share in the common elements appurtenant thereto. All as recorded in the Public Records of Pinellas County, Florida. commonly known as 6026 22nd Avenue North, #235B, St. Petersburg, FL 33710. ANY PERSON CLAIMING AN INTEREST IN THE SURPLUS FROM

THE SALE, IF ANY, OTHER THAN THE PROPERTY OWNER AS OF THE DATE OF THE LIS PENDENS MUST FILE A CLAIM BEFORE THE CLERK REPORTS THE SURPLUS AS UNCLAIMED. IF YOU FAIL TO FILE A CLAIM, YOU WILL NOT BE ENTITLED TO ANY REMAINING FUNDS. AFTER THE FUNDS ARE REPORTED AS UNCLAIMED ONLY THE OWNER OF RECORD AS OF THE DATE OF THE LIS PENDENS MAY CLAIM THE SURPLUS. If you are a person with a disability who needs an accommodation in order to participate in this proceeding, you are entitled, at no cost to you, to the provision of certain assistance. Please contact: Human Rights Office, 400 S. Ft. Harrison Ave., Ste. 500, Clearwater, FL 33756. Phone: (727) 464-4062 V/TDD or 711 if you are hearing impaired. Contact should be initiated at least seven (7) days before the scheduled Court Appearance, or immediately upon receiving this notification if the time before the scheduled appearance is less than seven (7) days. The Court does not provide transportation and cannot accommodate for this service. Persons with disabilities needing transportation to the Court should contact their local public transportation providers for information regarding disabled transportation services. DATED this 11TH day of June, 2024. DUBOW, DUBOW & WALLACE Attorneys for Plaintiff 215 North Federal Highway Dania Beach, FL 33004 (954) 925-8228 By: JASON B. DUBOW Fla. Bar No.: 856487 Email: jason@ddwlaw.net

24 JUNE 21 – JUNE 27, 2024 BUSINESS OBSERVER PINELLAS COUNTY --- SALES ---
June 21, 28, 2024 24-02801N
FIRST INSERTION
at no cost to you, to the provision of certain assistance. Please contact: Human Rights Office 400 S. Ft. Harrison Ave., Ste. 500 Clearwater, FL 33756 Phone: 727.464.4062 V/TDD Or 711 for the hearing impaired Contact should be initiated at least seven days before the scheduled court appearance, or immediately upon receiving this notification if the time before the scheduled appearance is less than seven days. WITNESS my hand and the seal of the court on June 18, 2024. GHIDOTTI | BERGER LLP Attorneys for Plaintiff 1031 North Miami Beach Boulevard North Miami Beach, FL 33162 Telephone: (305) 501-2808 Facsimile: (954) 780-5578 By: /s/Tara Rosenfeld Tara Rosenfeld, Esq. Florida Bar No. 59454 fcpleadings@ghidottiberger.com June 21, 28, 2024 24-02879N
SAVE TIME LV20906_V23 SARASOTA • MANATEE HILLSBOROUGH • PASCO PINELLAS • POLK • LEE COLLIER •CHARLOTTE

SECOND INSERTION

NOTICE TO CREDITORS IN THE CIRCUIT COURT OF THE SIXTH JUDICIAL CIRCUIT IN AND FOR PINELLAS COUNTY, FLORIDA File No.: 24-4763-ES Division: PROBATE IN RE: ESTATE OF PATRICIA ANN HAYES, Deceased

The administration of the estate of PATRICIAN ANN HAYES, deceased, whose date of death was APRIL 18, 2024; is pending in the Circuit Court for Pinellas County, Florida, Probate Division; File Number 24-004763ES; the address of which is 315 Court Street, Clearwater, Florida 33756. The names and addresses of the personal representative and the personal representative attorney are set forth below.

All creditors of the decedent and other persons, who have claims or demands against decedent’s estate, including unmatured, contingent or unliquidated claims, and who have been served a copy of this notice, must file their claims with this court WITHIN THE LATER OF THREE (3) MONTHS AFTER THE DATE OF THE FIRST PUBLICATION OF THIS NOTICE OR THIRTY (30) DATES AFTER THE DATE OF SERVICE OF A COPY OF THIS NOTICE ON THEM. All other creditors of the decedent and other persons who have claims or demands against the decedent’s estate, including unmatured, contingent or unliquidated claims, must file their claims with this court WITHIN THREE (3) MONTHS AFTER THE DATE OF THE FIRST PUBLICATION OF THIS NOTICE. ALL CLAIMS NOT SO FILED WILL BE FOREVER BARRED. NOTWITHSTANDING THE TIME PERIODS SET FORTH ABOVE, ANY CLAIM FILED TWO (2) YEARS OR MORE AFTER THE DECEDENT’S DATE OF DEATH IS BARRED.

THE DATE OF FIRST PUBLICATION OF THIS NOTICE IS: JUNE 14, 2024

BEN JOSEPH HAYES

11850 Dr. MLK, Jr, St N Apt. 11103

St. Petersburg, FL 33716

JAMES R. KENNEDY, JR. ESQ.

250 Mirror Lake Drive North St. Petersburg, FL 33701 (727) 821-6888

Email: Jim@jrklaw.com

SPN 0024319 BAR 343528

Attorney for Petitioner

June 14, 21, 2024 24-02693N

SECOND INSERTION

NOTICE TO CREDITORS IN THE CIRCUIT COURT FOR PINELLAS COUNTY, FLORIDA PROBATE DIVISION File No. 23-011486-ES IN RE: ESTATE OF LEROY JAMES FUNDERBURK, JR. Deceased.

The administration of the estate of Leroy James Funderburk, Jr., deceased, whose date of death was December 10, 2022, is pending in the Circuit Court for Pinellas County, Florida, Probate Division, the address of which is 545 First Avenue N., St. Petersburg, Florida 33701. The names and addresses of the personal representative and the personal representative’s attorney are set forth below. All creditors of the decedent and other persons having claims or demands against decedent’s estate on whom a copy of this notice is required to be served must file their claims with this court ON OR BEFORE THE LATER OF 3 MONTHS AFTER THE TIME OF THE FIRST PUBLICATION OF THIS NOTICE OR 30 DAYS AFTER THE DATE OF SERVICE OF A COPY OF THIS NOTICE ON THEM. All other creditors of the decedent and other persons having claims or demands against decedent’s estate must file their claims with this court WITHIN 3 MONTHS AFTER THE DATE OF THE FIRST PUBLICATION OF THIS NOTICE. ALL CLAIMS NOT FILED WITHIN THE TIME PERIODS SET FORTH IN FLORIDA STATUTES SECTION 733.702 WILL BE FOREVER BARRED. NOTWITHSTANDING THE TIME PERIODS SET FORTH ABOVE, ANY CLAIM FILED TWO (2) YEARS OR MORE AFTER THE DECEDENT’S DATE OF DEATH IS BARRED.

The date of first publication of this notice is June 14, 2024.

Personal Representative:

Brenda A Melvin Funderburk (Jun 1, 2024 22:03 EDT) Brenda Funderburk a/k/a

Brenda A. Melvin-Funderburk

210 38th Avenue SE

St. Petersburg, Florida 33705

Attorney for Personal Representative:

Erin W. Lohmiller Erin Whittemore Lohmiller, Esq. erin@lohmillerlaw.com, lohmillerlaw@gmail.com

Florida Bar No. 0038631

LOHMILLER LAW, PLLC

136 4th Street N., Suite 201 St. Petersburg, Florida 33701

Telephone: (727) 643-3818 June 14, 21, 2024 24-02684N

SECOND INSERTION NOTICE TO CREDITORS IN THE CIRCUIT COURT FOR PINELLAS COUNTY, FLORIDA PROBATE DIVISION File No. 24-002106-ES Division Probate IN RE: ESTATE OF IRENE JOYCE WEST, Deceased. The administration of the estate of Irene Joyce West, deceased, whose date of death was June 15, 2022, is pending in the Circuit Court for Pinellas County, Florida, Probate Division, the address of which is 315 Court St. Clearwater, FL 33756. The names and addresses of the personal representative and the personal representative’s attorney are set forth below.

All creditors of the decedent and other persons having claims or demands against decedent’s estate on whom a copy of this notice is required to be served must file their claims with this court ON OR BEFORE THE LATER OF 3 MONTHS AFTER THE TIME OF THE FIRST PUBLICATION OF THIS NOTICE OR 30 DAYS AFTER THE DATE OF SERVICE OF A COPY OF THIS NOTICE ON THEM.

All other creditors of the decedent and other persons having claims or demands against decedent’s estate must file their claims with this court WITHIN 3 MONTHS AFTER THE DATE OF THE FIRST PUBLICATION OF THIS NOTICE.

ALL CLAIMS NOT FILED WITHIN THE TIME PERIODS SET FORTH IN FLORIDA STATUTES SECTION 733.702 WILL BE FOREVER BARRED.

NOTWITHSTANDING THE TIME PERIOD SET FORTH ABOVE, ANY CLAIM FILED TWO (2) YEARS OR MORE AFTER THE DECEDENT’S DATE OF DEATH IS BARRED.

The date of first publication of this notice is June 14, 2024.

Personal Representative: Philip C. West 419 Canal Street Eaton Rapids, MI 48827

Attorney for Personal Representative: M. Donald Reddish E-Mail Addresses: donald@reddishlawfirm.com linda@reddishlawfirm.com

Florida Bar No. 0165565 Reddish Law Firm 28050 U.S. Hwy. 19 North., Suite 208 Clearwater, FL 33761 Telephone: 727-723-0004

June 14, 21, 2024 24-02757N

SECOND INSERTION

NOTICE TO CREDITORS IN THE CIRCUIT COURT FOR PINELLAS COUNTY, FLORIDA PROBATE DIVISION File No. 24-004481-ES IN RE: ESTATE OF ROWLAND JAMES HILL, JR Deceased.

The administration of the estate of ROWLAND JAMES HILL, JR., deceased, whose date of death was March 16, 2024, is pending in the Circuit Court for PINELLAS County, Florida, Probate Division, the address of which is 315 Court Street, Clearwater, Florida 33756. The names and addresses of the personal representative and the personal representative’s attorney are set forth below.

All creditors of the decedent and other persons having claims or demands against decedent’s estate on whom a copy of this notice is required to be served must file their claims with this court ON OR BEFORE THE LATER OF 3 MONTHS AFTER THE TIME OF THE FIRST PUBLICATION OF THIS NOTICE OR 30 DAYS AFTER THE DATE OF SERVICE OF A COPY OF THIS NOTICE ON THEM.

All other creditors of the decedent and other persons having claims or demands against decedent’s estate must file their claims with this court WITHIN 3 MONTHS AFTER THE DATE OF THE FIRST PUBLICATION OF THIS NOTICE.

ALL CLAIMS NOT FILED WITHIN THE TIME PERIODS SET FORTH IN FLORIDA STATUTES SECTION 733.702 WILL BE FOREVER BARRED.

NOTWITHSTANDING THE TIME PERIODS SET FORTH ABOVE, ANY CLAIM FILED TWO (2) YEARS OR MORE AFTER THE DECEDENT’S DATE OF DEATH IS BARRED. The date of first publication of this notice is June 14, 2024. Signed on this 5th day of June, 2024.

Personal Representative: /s/ Marjorie Putman

MARJORIE PUTMAN 8548 Shenstone Dr. Cincinnati, Ohio 45255

Attorney for Personal Representative: /s/ Tiffani K. Thornton Tiffani K. Thornton, Esq. FBN: 1007807 THE LAW OFFICE OF TIFFANI K. THORNTON 10150 Highland Manor Dr., Suite 200 Tampa, Florida 33610 Telephone: 813-337-7349 Primary email: tiffani@tktlaw.org Attorney for Personal Representative June 14, 21, 2024 24-02696N

PINELLAS COUNTY

SUBSEQUENT INSERTIONS

SECOND INSERTION

NOTICE TO CREDITORS

IN THE CIRCUIT COURT OF THE SIXTH JUDICIAL CIRCUIT IN AND FOR PINELLAS COUNTY, FLORIDA PROBATE FILE NO. 24-005547-ES IN RE: ESTATE OF HARRY GREENWALD a/k/a HARRY R. GREENWALD, Deceased.

TO ALL PERSONS HAVING CLAIMS OR DEMANDS AGAINST THE ABOVE ESTATE:

The administration of the estate of HARRY GREENWALD a/k/a HARRY R. GREENWALD, deceased, File Number 24-005547-ES, is pending in the Circuit Court for Pinellas County, Florida, Probate Division, the address of which is 315 Court Street, Clearwater, Florida 33756. The names and addresses of the personal representative and the personal representative’s attorney are set forth below.

ALL INTERESTED PERSONS ARE NOTIFIED THAT:

All creditors of the decedent and other persons having claims or demands against decedent’s estate on whom a copy of this notice is served within three months after the date of the first publication of this notice must file their claims with this Court WITHIN THE LATER OF THREE MONTHS AFTER THE DATE OF THE FIRST PUBLICATION OF THIS NOTICE OR THIRTY DAYS AFTER THE DATE OF SERVICE OF A COPY OF THIS NOTICE ON THEM.

All other creditors of the decedent and persons having claims or demands against the decedent’s estate must file their claims with this court WITHIN THREE MONTHS AFTER THE DATE OF THE FIRST PUBLICATION OF THIS NOTICE.

ALL CLAIMS, DEMANDS AND OBJECTIONS NOT SO FILED WILL BE FOREVER BARRED.

The date of the first publication of this Notice is June 14, 2024.

PERSONAL REPRESENTATIVE: BRENDA M. KOLAR 9334 SILVERTHORN ROAD SEMINOLE, FLORIDA 33777

ATTORNEYS FOR PERSONAL REPRESENTATIVE:

ASHLEY DREW GRAHAM, ESQUIRE

ZACUR & GRAHAM, P.A.

5200 CENTRAL AVENUE ST. PETERSBURG, FL 33707 (727) 328-1000 X 213 FBN 41100

EMAIL: ADGLAW@GMAIL.COM

June 14, 21, 2024 24-02772N

SECOND INSERTION

NOTICE TO CREDITORS IN THE CIRCUIT COURT IN AND FOR PINELLAS COUNTY, FLORIDA PROBATE DIVISION CASE NO. 24-004989-ES IN RE: THE ESTATE OF PATRICIA CAROL HANOUSEK, Deceased

The administration of the estate of PATRICIA CAROL HANOUSEK, deceased, whose date of death was April 22, 2024, File Number 24-004989-ES, is pending in the Circuit Court for Pinellas County, Florida, Probate Division, the address of which is 315 Court Street, Clearwater, FL 33756. The names and addresses of the personal representative and the personal representative’s attorney are set forth below. All creditors of the decedent and other persons having claims or demands against decedent’s estate, on whom a copy of this notice is served must file their claims with this Court WITHIN THE LATER OF THREE MONTHS AFTER THE DATE OF THE FIRST PUBLICATION OF THIS NOTICE OR THIRTY DAYS AFTER THE DATE OF SERVICE OF A COPY OF THIS NOTICE ON THEM.

All other creditors of the decedent and other persons having claims or demands against the estate of the decedent, must file their claims with this Court WITHIN THREE MONTHS AFTER THE DATE OF THE FIRST PUBLICATION OF THIS NOTICE. ALL CLAIMS NOT SO FILED WITHIN THE TIME PERIODS SET FORTH IN SECTION 733.702 OF THE FLORIDA PROBATE CODE WILL BE FOREVER BARRED. NOTWITHSTANDING THE TIME PERIOD SET FORTH ABOVE, ANY CLAIM FILED TWO (2) YEARS OR MORE AFTER THE DECEDENT’S DATE OF DEATH IS BARRED.

The date of the first publication of this Notice is June 14, 2024. Deborah Doran

Personal Representative

5 S. Hercules Avenue Clearwater, FL 33765

ROBERT C. THOMPSON, JR., Esquire

FBN #390089 SPN #02528094

gf@thompsonfernald.com

GARY M. FERNALD, Esquire

FBN #395870 SPN #00910964 rt@thompsonfernald.com

THOMPSON & FERNALD, P.A.

611 Druid Road East, Suite 705

Clearwater, Florida 33756

Tel: (727) 447-2290

Fax: (727) 443-1424

Attorney for Personal Representative

June 14, 21, 2024 24-02700N

SECOND INSERTION NOTICE TO CREDITORS IN THE CIRCUIT COURT FOR PINELLAS COUNTY, FLORIDA PROBATE DIVISION File No. 24-005216-ES IN RE: ESTATE OF JOHN CHARLES RYGIEL JR., Deceased.

The administration of the estate of JOHN CHARLES RYGIEL JR., deceased, whose date of death was April 18, 2024, is pending in the Circuit Court for PINELLAS County, Florida, Probate Division, the address of which is 315 Court Street, Clearwater, FL 33756. The names and addresses of the personal representative and the personal representative’s attorney are set forth below.

All creditors of the decedent and other persons having claims or demands against decedent’s estate on whom a copy of this notice is required to be served must file their claims with this court ON OR BEFORE THE LATER OF 3 MONTHS AFTER THE TIME OF THE FIRST PUBLICATION OF THIS NOTICE OR 30 DAYS AFTER THE DATE OF SERVICE OF A COPY OF THIS NOTICE ON THEM.

All other creditors of the decedent and other persons having claims or demands against decedent’s estate must file their claims with this court WITHIN 3 MONTHS AFTER THE DATE OF THE FIRST PUBLICATION OF THIS NOTICE.

ALL CLAIMS NOT FILED WITHIN THE TIME PERIODS SET FORTH IN FLORIDA STATUTES SECTION 733.702 WILL BE FOREVER BARRED.

NOTWITHSTANDING THE TIME PERIODS SET FORTH ABOVE, ANY CLAIM FILED TWO (2) YEARS OR MORE AFTER THE DECEDENT’S DATE OF DEATH IS BARRED.

The date of first publication of this notice is June 14, 2024. Personal Representative: Robin Rygiel 20 Pristine Drive Greer, SC 29650

Attorney for Personal Representative: C. Hunter Rawls BATTAGLIA, ROSS, DICUS & McQUAID, P.A. 5858 Central Avenue St. Petersburg, FL 33701 (727) 381-2300

FBN: 59432

Primary Email: hrawl@brdwlaw.com

Secondary Email: mflah@brdwlaw.com June 14, 21, 2024 24-02765N

SECOND INSERTION NOTICE TO CREDITORS IN THE CIRCUIT COURT FOR PINELLAS COUNTY, FLORIDA PROBATE DIVISION UCN: 522024CP005637XXESPR REF #: 24-005637-ES IN RE: ESTATE OF CATHERINE R. FEIERBACHER, Deceased.

The administration of the estate of CATHERINE R. FEIERBACHER, deceased, whose date of death was April 5, 2024, is pending in the Circuit Court for Pinellas County, Florida, Probate Division, the address of which is 315 Court Street, Clearwater, FL 33756. The names and addresses of the personal representative and the personal representative’s attorney are set forth below.

All creditors of the decedent and other persons having claims or demands against decedent’s estate on whom a copy of this notice is required to be served must file their claims with this court WITHIN THE LATER OF 3 MONTHS AFTER THE TIME OF THE FIRST PUBLICATION OF THIS NOTICE OR 30 DAYS AFTER THE DATE OF SERVICE OF A COPY OF THIS NOTICE ON THEM.

All other creditors of the decedent and other persons having claims or demands against decedent’s estate must file their claims with this court WITHIN 3 MONTHS AFTER THE DATE OF THE FIRST PUBLICATION OF THIS NOTICE.

ALL CLAIMS NOT FILED WITHIN THE TIME PERIODS SET FORTH IN SECTION 733.702 OF THE FLORIDA

PROBATE CODE WILL BE FOREVER BARRED.

NOTWITHSTANDING THE TIME PERIODS SET FORTH ABOVE, ANY CLAIM FILED TWO (2) YEARS OR MORE AFTER THE DECEDENT’S DATE OF DEATH IS BARRED.

The date of first publication of this Notice is: June 14, 2024

Personal Representative: Kurt Feierbacher (May 29, 2024 23:49 EDT)

KURT FEIERBACHER

c/o Rooth and Rooth P.A.

7600 Seminole Blvd., Suite 102 Seminole, Florida 33772

Attorney for Personal Representative: MARIE R. ZORRILLA, Attorney ROOTH & ROOTH P.A.

7600 Seminole Blvd Suite 102

Seminole, FL 33772

Telephone: (727) 397-4768

Florida Bar No. 0118979

E-Mail: marie@roothlaw.com

E-Mail: ryan@roothlaw.com June 14, 21, 2024 24-02736N

SECOND INSERTION

NOTICE OF PUBLIC SALE

The following personal property of SHAWNNA FOSTER will, on June 26, 2024, at 10:00 a.m., at 2463 Gulf to Bay Blvd., Lot #139, Clearwater, Pinellas County, Florida 33765; be sold for cash to satisfy storage fees in accordance with Florida Statutes, Section 715.109: 1969 SUNH MOBILE HOME, VIN: 56CK12RFP2517, VIN: 0003569293 and all other personal property located therein

PREPARED BY: J. Matthew Bobo Lutz, Bobo & Telfair, P.A. 2 North Tamiami Trail, Suite 500 Sarasota, Florida 34236 June 14, 21, 2024 24-02703N

Notice

SECOND INSERTION

NOTICE OF PUBLIC SALE

Notice is hereby given that on 06/28/2024, at 10:30 a.m., the following property will be sold at public auction pursuant to F.S. 715.109: A 1963 MARL mobile home bearing vehicle identification number G150CKE30263 and all personal items located inside the mobile home. Last Tenant: Mildred June Gusbar. Sale to be held at: Treasure Village MHP, LLC, 5151 4th Street North, Saint Petersburg, Florida 33703 (727) 527-1701. June 14, 21, 2024 24-02766N

WILLIAM VARNUM will, on June 26, 2024, at 10:00 a.m., at 39248 US Highway 19 North, Lot #340, Tarpon Springs, Pinellas County, Florida 34689; be sold for cash to satisfy storage fees in accordance with Florida Statutes, Section 715.109: 1972 PKWO MOBILE HOME, VIN: 3171CA, TITLE NO.: 0004978999, and VIN: 3171CB, TITLE NO.: 0004979000 and all other personal property located therein PREPARED BY: J. Matthew Bobo Lutz, Bobo & Telfair, P.A. 2 North Tamiami Trail, Suite 500 Sarasota, Florida 34236 June 14, 21, 2024 24-02762N

25 JUNE 21 – JUNE 27, 2024 BusinessObserverFL.com
--- PUBLIC SALES ---
SECOND INSERTION
EQUIPMENT TO:
NOTICE OF AUCTION FOR SURPLUS VEHICLES &
ALL INTERESTED PARTIES AUCTION FOR SURPLUS VEHICLES & EQUIPMENT FOR PINELLAS COUNTY, FLORIDA
is hereby given that surplus vehicles & equipment will be sold at Public Auction, as approved by the Board of County Commissioners on June 11th, 2024. Miscellaneous surplus consisting of various types of vehicles and equipment will be sold on auction at the Tampa Machinery Auction, 11720 US-301, Thonotosassa, Florida 33592. Please note; Auctions for Tampa Machinery are held the second Saturday of every month. Our current surplus at TMA will be available July 13th, 2024 “PERSONS WITH DISABILITIES REQUIRING REASONABLE ACCOMMODATION TO PARTICIPATE IN THIS PROCEEDING/EVENT SHOULD CALL (727) 464-4062 (VOICE/TDD) FAX (727) 464-4157, NOT LATER THAN SEVEN DAYS PRIOR TO THE PROCEEDING.”
you have any further questions, please contact the Pinellas County Fleet Management Division at (727) 464-4546. Kathleen Peters, Chairman Joe Lauro, Director, Board of County Commissioners Department of Administrative Services Don Moore, Fleet Management Division Manager June 14, 21, 2024 24-02690N
INSERTION
OF PUBLIC SALE
is hereby given that the undersigned intends to sell the personal property described below to enforce a lien imposed on said property under the Florida Self Storage Act Statues (Section 83.801.83.809). The auction date is July 11 at 11:00 am at Super Storage II. Address—6415 54th Ave. N. St. Petersburg, FL 33709. Tracy Andrews C430 Household Items Brandi Feazell A160 Household Items Byron Jones B207 Household Goods Richard Brown RV 09 Car Michael Getty C434 Household Items Maurice Sutton C463 Household Items Lisa Hubener D713 Household Items Julisa Morales D680 Household Items June 14, 21, 2024 24-02771N SECOND INSERTION NOTICE OF PUBLIC SALE The following personal property of Robin Lynn Lavigne and If Deceased, All Unknown Parties, Beneficiaries, Heirs, Successors and Assigns of Robin Lynn Lavigne and All Parties Having or Claiming to Have Any Right, Title, or Interest in the Property Herein Described will on the 1st day of July 2024, at 10:00 a.m., on property at 6190 62nd Avenue N., Lot 25, in Lake Bon Bon be sold for cash to satisfy storage fees in accordance with Florida Statutes, Section 715.109: Year/Make: Single Wide Mobile Home Decal No: 18172367 DMV Certified No: B36960 VIN No.: Unknown Title No.: Unknown And All Other Personal Property Therein PREPARED BY: Rosia Sterling Lutz, Bobo & Telfair, P.A. 2155 Delta Blvd, Suite 210-B Tallahassee, Florida 32303 June 14, 21, 2024 24-02747N SECOND INSERTION NOTICE OF PUBLIC SALE The following personal property of EUGENE
If
SECOND
NOTICE
Notice
--- ESTATE ---

SECOND INSERTION

AMENDED NOTICE TO CREDITORS IN THE CIRCUIT COURT FOR PINELLAS COUNTY, FLORIDA PROBATE DIVISION

REF: 24-004564-ES IN RE: ESTATE OF ALBERT J. PORTELANCE, Deceased. The administration of the estate of ALBERT J. PORTELANCE, deceased, whose date of death was February 12, 2024, is pending in the Circuit Court for Pinellas County, Florida, Probate Division; File No. 24-004564-ES the address of which is 315 Court Street, Clearwater, Florida 33756. The names and addresses of the Personal Representative and the Personal Representative’s attorney are set forth below.

All creditors of the decedent and other persons having claims or demands against decedent’s estate on whom a copy of this notice is required to be served must file their claims with this court WITHIN THE LATER OF 3 MONTHS AFTER THE TIME OF THE FIRST PUBLICATION OF THIS NOTICE OR 30 DAYS AFTER THE DATE OF SERVICE OF A COPY OF THIS NOTICE ON THEM.

All other creditors of the decedent and other persons having claims or demands against decedent’s estate must file their claims with this court WITHIN 3 MONTHS AFTER THE DATE OF THE FIRST PUBLICATION OF THIS NOTICE.

ALL CLAIMS NOT FILED WITHIN THE TIME PERIODS SET FORTH IN SECTION 733.702 OF THE FLORIDA PROBATE CODE WILL BE FOREVER BARRED.

NOTWITHSTANDING THE TIME PERIODS SET FORTH ABOVE, ANY CLAIM FILED TWO (2) YEARS OR MORE AFTER THE DECEDENT’S DATE OF DEATH IS BARRED.

The date of first publication of this notice is June 14, 2024.

Personal Representative: John Turkowski

Attorney for Personal Representative: Stacy Strohauer Son, Esquire

STROHAUER MANNION SON

1150 Cleveland Street, Suite 300 Clearwater, FL 33755

stacy@smslaw.net

Tel: 727-461-6100

Fax: 727-447-6899

FBN: 640891 June 14, 21, 2024 24-02695N

SECOND INSERTION

NOTICE TO CREDITORS IN THE CIRCUIT COURT FOR PINELLAS COUNTY, FLORIDA

Probate Division CASE NO.: 2024004274ES IN RE: ESTATE OF DANIEL EVERETT LEWIS, Deceased. The administration of the estate of Daniel Everett Lewis, deceased, whose date of death was March 16, 2024, is pending in the Circuit Court for Pinellas County, Florida, Probate Division, the address of which is 315 Court Street, #300, Clearwater, FL 33756. The names and addresses of the Personal Representative and the Personal Representative’s attorney are set forth below. All creditors of the decedent and other persons who have claims or demands against decedent’s estate, on whom a copy of this notice is required to be served, must file their claims with this court WITHIN THE LATER OF THREE (3) MONTHS AFTER THE DATE OF THE FIRST PUBLICATION OF THIS NOTICE OR THIRTY (30) DAYS AFTER THE DATE OF SERVICE OF A COPY OF THIS NOTICE ON THEM. All other creditors of the Decedent and other persons having claims or demands against decedent’s estate, must file their claims with this court WITHIN THREE (3) MONTHS AFTER THE DATE OF THE FIRST PUBLICATION OF THIS NOTICE. ALL CLAIMS NOT SO FILED WILL BE FOREVER BARRED. The date of first publication of this notice is June 14, 2024.

Personal Representative: Jonathan J. Bailie, 13790 Roosevelt Blvd., Suite A, Clearwater, Florida 33762

Attorney for Personal Representative:

P. Scott Miller, Florida Bar No. 0093792, 1843 Foreman Drive, Suite 210, Cookeville, Tennessee 38501

Tele: 727-362-3700

Fax: 727-398-3907

E-Mail: smiller@gibbsfirm.com

Secondary E-Mail: dmiller@gibbsfirm.com

June 14, 21, 2024 24-02760N

SECOND INSERTION NOTICE TO CREDITORS IN THE CIRCUIT COURT FOR PINELLAS COUNTY, FLORIDA PROBATE DIVISION File No. 24-002118-ES Division 003 IN RE: ESTATE OF SHIRLEY TREEWALLA Deceased.

The administration of the estate of Shirley Treewalla, deceased, whose date of death was February 6, 2024, is pending in the Circuit Court for Pinellas County, Florida, Probate Division, the address of which is 315 Court Street, Clearwater, FL 33756. The names and addresses of the personal representative and the personal representative’s attorney are set forth below. All creditors of the decedent and other persons having claims or demands against decedent’s estate on whom a copy of this notice is required to be served must file their claims with this court ON OR BEFORE THE LATER OF 3 MONTHS AFTER THE TIME OF THE FIRST PUBLICATION OF THIS NOTICE OR 30 DAYS AFTER THE DATE OF SERVICE OF A COPY OF THIS NOTICE ON THEM. All other creditors of the decedent and other persons having claims or demands against decedent’s estate must file their claims with this court WITHIN 3 MONTHS AFTER THE DATE OF THE FIRST PUBLICATION OF THIS NOTICE.

ALL CLAIMS NOT FILED WITHIN THE TIME PERIODS SET FORTH IN FLORIDA STATUTES SECTION 733.702 WILL BE FOREVER BARRED.

NOTWITHSTANDING THE TIME PERIODS SET FORTH ABOVE, ANY CLAIM FILED TWO (2) YEARS OR MORE AFTER THE DECEDENT’S DATE OF DEATH IS BARRED.

The date of first publication of this notice is June 14, 2024.

Personal Representative: Mark Rothman 3632 Land O’Lakes Blvd., #106-21 Land O’Lakes, FL 34639 Attorney for Personal Representative: Mark A Rothman PA E-mail Addresses: info@yourprobatesource.co, info@orcaei.com

Florida Bar No. 968609 3632 Land O’Lakes Blvd., #106-21 Land O Lakes, FL 34639 Telephone: (855) 727-7279 June 14, 21, 2024 24-02707N

SECOND INSERTION NOTICE TO CREDITORS IN THE CIRCUIT COURT FOR PINELLAS COUNTY, FLORIDA PROBATE DIVISION UCN: 522024CP004239XXESXX REF#: 24-4239-ES4 IN RE ESTATE OF ROBERT EDWARD FREEMAN, aka ROBERT E. FREEMAN, Deceased. The administration of the estate of ROBERT EDWARD FREEMAN, aka ROBERT E. FREEMAN, deceased, File Number 24-4239-ES4, UCN#: 522024CP004239XXESXX, is pending in the Circuit Court for Pinellas County, Florida, Probate Division, the address of which is 315 Court Street, Clearwater, Florida 33756. The name and address of the personal representative and the personal representative’s attorney are set forth below.

All creditors of the decedent and other persons having claims or demands against decedent’s estate, including unmatured, contingent or unliquidated claims, on whom a copy of this notice is served must file their claims with this Court WITHIN THE LATER OF THREE MONTHS AFTER THE DATE OF THE FIRST PUBLICATION OF THIS NOTICE OR THIRTY DAYS AFTER THE DATE OF SERVICE OF A COPY OF THIS NOTICE ON THEM.

All other creditors of the decedent and persons having claims or demands against the decedent’s estate, including unmatured, contingent or unliquidated claims, must file their claims with this Court WITHIN THREE MONTHS AFTER THE DATE OF THE FIRST PUBLICATION OF THIS NOTICE.

ALL CLAIMS NOT SO FILED WILL BE FOREVER BARRED.

The date of the first publication of this Notice is June 14, 2024.

Personal Representative: DORIS FREEMAN

4680 Carson Street NE St. Petersburg, FL 33703

Attorney for Personal Representative: DOREEN DOE, P.A. P.O. Box 55037

St. Petersburg, FL 33732

727-520-0991; FL BAR #0471781

Email: ddoelaw@aol.com June 14, 21, 2024 24-02753N

SECOND INSERTION

NOTICE TO CREDITORS IN THE CIRCUIT COURT FOR PINELLAS COUNTY, FLORIDA PROBATE DIVISION File No. 24-002541-ES

IN RE: ESTATE OF STEPHEN JAMES HARMS, Deceased

The administration of the estate of Stephen James Harms, deceased, whose date of death was November 29, 2023, is pending in the Circuit Court for Pinellas County, Florida, Probate Division, the address of which is: Clerk: Ken Burke, CPA, 315 Court Street, Room 106, Clearwater, FL 33756. The names and addresses of the personal representatives and the personal representatives’ attorney are set forth below.

All creditors of the decedent and other persons having claims or demands against decedent’s estate on whom a copy of this notice is required to be served must file their claims with this court WITHIN THE LATER OF 3 MONTHS AFTER THE TIME OF THE FIRST PUBLICATION OF THIS NOTICE OR 30 DAYS AFTER THE DATE OF SERVICE OF A COPY OF THIS NOTICE ON THEM.

All other creditors of the decedent and other persons having claims or demands against decedent’s estate must file their claims with this court WITHIN 3 MONTHS AFTER THE DATE OF THE FIRST PUBLICATION OF THIS NOTICE.

ALL CLAIMS NOT FILED WITHIN THE TIME PERIODS SET FORTH IN SECTION 733.702 OF THE FLORIDA PROBATE CODE WILL BE FOREVER BARRED.

NOTWITHSTANDING THE TIME PERIODS SET FORTH ABOVE, ANY CLAIM FILED TWO (2) YEARS OR MORE AFTER THE DECEDENT’S DATE OF DEATH IS BARRED.

The date of first publication of this notice is June 14, 2024.

Personal Representative: Summer R. H. Young 7513 Tarpley Dr. Derwood, MD 20855

Attorney for Personal Representative

NATHAN S. BRUEMMER

Florida Bar Number: 1035475

BLACKBURN LAW FIRM, PLLC 5230 Central Avenue

St. Petersburg, FL 33707

Telephone: (727) 826-0923

E-Mail: Nathan@lifeplanlaw.com

June 14, 21, 2024 24-02686N

SECOND INSERTION

NOTICE TO CREDITORS IN THE CIRCUIT COURT IN AND FOR PINELLAS COUNTY, FLORIDA PROBATE DIVISION File No. 24-004573-ES Division: Probate IN RE: ESTATE OF WILSON AFONSO DE OLIVEIRA (A/K/A WILSON AFONSO OLIVEIRA) Deceased.

The administration of the estate of Wilson Afonso De Oliveira (a/k/a Wilson Afonso Oliveira), deceased, whose date of death was December 23, 2023, is pending in the Circuit Court for Pinellas County, Florida, Probate Division, the address of which is 315 Court Street, Room 106, Clearwater, Florida 33756. The names and addresses of the personal representative and the personal representative’s attorney are set forth below.

All creditors of the decedent and other persons having claims or demands against decedent’s estate on whom a copy of this notice is required to be served must file their claims with this court ON OR BEFORE THE LATER OF 3 MONTHS AFTER THE TIME OF THE FIRST PUBLICATION OF THIS NOTICE OR 30 DAYS AFTER THE DATE OF SERVICE OF A COPY OF THIS NOTICE ON THEM.

All other creditors of the decedent and other persons having claims or demands against decedent’s estate must file their claims with this court WITHIN 3 MONTHS AFTER THE DATE OF THE FIRST PUBLICATION OF THIS NOTICE.

ALL CLAIMS NOT FILED WITHIN THE TIME PERIODS SET FORTH IN FLORIDA STATUTES SECTION 733.702 WILL BE FOREVER BARRED. NOTWITHSTANDING THE TIME PERIODS SET FORTH ABOVE, ANY CLAIM FILED TWO (2) YEARS OR MORE AFTER THE DECEDENT’S DATE OF DEATH IS BARRED. The date of first publication of this notice is June 14, 2024.

Personal Representative: Eliane Barros De Oliveira 664 Old East Lake Road Tarpon Springs, Florida 34688

Attorney for Personal Representative: Tanya Bell, Esq. Florida Bar Number: 52924 Bell Law Firm, P.A. 2364 Boy Scout Road, Suite 200 Clearwater, Florida 33763 Telephone: (727) 287-6316 Fax: (727) 287-6317 TanyaBell@BellLawFirmFlorida.com AMullins@BellLawFirmFlorida.com June 14, 21, 2024 24-02752N

SECOND INSERTION NOTICE TO CREDITORS IN THE CIRCUIT COURT FOR PINELLAS COUNTY, FLORIDA PROBATE DIVISION FILE NO.: 24-005572-ES IN RE: ESTATE OF SHARON VIRGINIA LINDSEY, Deceased. The administration of the estate of SHARON VIRGINIA LINDSEY, deceased, whose date of death was April 19, 2024, is pending in the Circuit Court for Pinellas County, Florida, Probate Division, the address of which is 315 Court Street, Clearwater, Florida 33756. The names and addresses of the personal representative and the personal representative’s attorney are set forth below.

All creditors of the decedent and other persons having claims or demands against decedent’s estate on whom a copy of this notice is required to be served must file their claims with this court ON OR BEFORE THE LATER OF 3 MONTHS AFTER THE TIME OF THE FIRST PUBLICATION OF THIS NOTICE OR 30 DAYS AFTER THE DATE OF SERVICE OF A COPY OF THIS NOTICE ON THEM.

All other creditors of the decedent and other persons having claims or demands against decedent’s estate must file their claims with this court WITHIN 3 MONTHS AFTER THE DATE OF THE FIRST PUBLICATION OF THIS NOTICE.

ALL CLAIMS NOT FILED WITHIN THE TIME PERIODS SET FORTH IN FLORIDA STATUTES SECTION 733.702 WILL BE FOREVER BARRED.

NOTWITHSTANDING THE TIME PERIODS SET FORTH ABOVE, ANY CLAIM FILED TWO (2) YEARS OR MORE AFTER THE DECEDENT’S DATE OF DEATH IS BARRED.

The date of first publication of this notice is June 14, 2024.

Personal Representative: Walter D. Lindsey, Jr. 62 SE 451st Road Warrensburg, MO 64093

Attorney for Personal Representative: David A. Peek

david@theseminolelegalcenter.com info@theseminolelegalcenter.com

Florida Bar No. 0044660

The Legal Center 10700 Johnson Blvd, Ste 1 Seminole, Florida 33772 Telephone: (727) 393-8822 June 14, 21, 2024 24-02740N

SECOND INSERTION NOTICE TO CREDITORS IN THE CIRCUIT COURT OF THE SIXTH JUDICIAL CIRCUIT IN AND FOR PINELLAS COUNTY, FLORIDA

PROBATE DIVISION CASE NO. 24-005306-ES IN RE: THE ESTATE OF ANGELES HERNANDEZ, Deceased

The administration of the estate of ANGELES HERNANDEZ, deceased, whose date of death was April 24, 2024, File Number 24-005306-ES, is pending in the Circuit Court for Pinellas County, Florida, Probate Division, the address of which is 315 Court Street, Clearwater, FL 33756. The names and addresses of the personal representative and the personal representative’s attorney are set forth below.

All creditors of the decedent and other persons having claims or demands against decedent’s estate, on whom a copy of this notice is served must file their claims with this Court WITHIN THE LATER OF THREE MONTHS AFTER THE DATE OF THE FIRST PUBLICATION OF THIS NOTICE OR THIRTY DAYS AFTER THE DATE OF SERVICE OF A COPY OF THIS NOTICE ON THEM.

All other creditors of the decedent and other persons having claims or demands against the estate of the decedent, must file their claims with this Court WITHIN THREE MONTHS AFTER THE DATE OF THE FIRST PUBLICATION OF THIS NOTICE.

ALL CLAIMS NOT SO FILED WITHIN THE TIME PERIODS SET FORTH IN SECTION 733.702 OF THE FLORIDA PROBATE CODE WILL BE FOREVER BARRED. NOTWITHSTANDING THE TIME PERIOD SET FORTH ABOVE, ANY CLAIM FILED TWO (2) YEARS OR MORE AFTER THE DECEDENT’S DATE OF DEATH IS BARRED.

The date of the first publication of this Notice is June 14, 2024.

GARY M. FERNALD, Esquire FBN #395870 SPN #00910964 gf@thompsonfernald.com

ROBERT C. THOMPSON, JR., Esquire FBN #390089 SPN #02528094 rt@thompsonfernald.com

THOMPSON & FERNALD, P.A. 611 Druid Road East, Suite 705 Clearwater, Florida 33756

Tel: (727) 447-2290

Fax: (727) 443-1424

Attorney for Personal Representative June 14, 21, 2024 24-02755N

SECOND INSERTION

NOTICE TO CREDITORS IN THE CIRCUIT COURT FOR PINELLAS COUNTY, FLORIDA PROBATE DIVISION File No 24-005503ES IN RE: ESTATE OF VERNA SMITH SLABY, Deceased. The administration of the estate of Verna Smith Slaby, deceased, whose date of death was April 13, 2024, is pending in the Circuit Court for Pinellas County, Florida, Probate Division, the address of which is 315 Court Street, Clearwater, Florida 33756. The names and addresses of the personal representative and the personal representative’s attorney are set forth below. All creditors of the decedent and other persons having claims or demands against decedent’s estate on whom a copy of this notice is required to be served must file their claims with this court ON OR BEFORE THE LATER OF 3 MONTHS AFTER THE TIME OF THE FIRST PUBLICATION OF THIS NOTICE OR 30 DAYS AFTER THE DATE OF SERVICE OF A COPY OF THIS NOTICE ON THEM. All other creditors of the decedent and other persons having claims or demands against decedent’s estate must file their claims with this court WITHIN 3 MONTHS AFTER THE DATE OF THE FIRST PUBLICATION OF THIS NOTICE.

ALL CLAIMS NOT FILED WITHIN THE TIME PERIODS SET FORTH IN FLORIDA STATUTES SECTION 733.702 WILL BE FOREVER BARRED.

NOTWITHSTANDING THE TIME PERIODS SET FORTH ABOVE, ANY CLAIM FILED TWO (2) YEARS OR MORE AFTER THE DECEDENT’S DATE OF DEATH IS BARRED.

The date of first publication of this notice is June 14, 2024.

Personal Representative: Norman E. Slaby 13885 Wildwood Drive Largo, Florida 33774

Attorney for Personal Representative: David A. Peek david@theseminolelegalcenter.com info@theseminolelegalcenter.com

Florida Bar No. 0044660

The Legal Center 10700 Johnson Blvd., Suite 1 Seminole, Florida 33772 Telephone: (727) 393-8822 June 14, 21, 2024 24-02741N

SECOND INSERTION NOTICE TO CREDITORS IN THE CIRCUIT COURT FOR PINELLAS COUNTY, FLORIDA PROBATE DIVISION File No. 24-004050-ES Division Probate IN RE: ESTATE OF LAWRENCE J. CHARCHOL AKA LARRY CHARCHOL Deceased.

The administration of the estate of Lawrence J. Charchol AKA Larry Charchol, deceased, whose date of death was March 9, 2024, is pending in the Circuit Court for Pinellas County, Florida, Probate Division, the address of which is 315 Court St, Clearwater, FL 33756. The names and addresses of the personal representative and the personal representative’s attorney are set forth below.

All creditors of the decedent and other persons having claims or demands against decedent’s estate on whom a copy of this notice is required to be served must file their claims with this court ON OR BEFORE THE LATER OF 3 MONTHS AFTER THE TIME OF THE FIRST PUBLICATION OF THIS NOTICE OR 30 DAYS AFTER THE DATE OF SERVICE OF A COPY OF THIS NOTICE ON THEM.

All other creditors of the decedent and other persons having claims or demands against decedent’s estate must file their claims with this court WITHIN 3 MONTHS AFTER THE DATE OF THE FIRST PUBLICATION OF THIS NOTICE.

ALL CLAIMS NOT FILED WITHIN THE TIME PERIODS SET FORTH IN FLORIDA STATUTES SECTION 733.702 WILL BE FOREVER BARRED.

NOTWITHSTANDING THE TIME PERIODS SET FORTH ABOVE, ANY CLAIM FILED TWO (2) YEARS OR MORE AFTER THE DECEDENT’S DATE OF DEATH IS BARRED.

The date of first publication of this notice is June 14, 2024.

Personal Representative: Steven C. Dukes 2170 Americus Blvd N Apt 40 Clearwater, Florida 33765

Attorney for Personal Representative: /s/ Rachel M. Wagoner

Rachel M. Wagoner

Attorney Florida Bar Number: 736066

COLEN & WAGONER, P.A. 1756 N. Belcher Road

Clearwater, Florida 33765

Telephone: (727) 545-8114

Fax: (727) 545-8227

E-Mail: rachel@colenwagoner.com

Secondary E-Mail: probate@colenwagoner.com June 14, 21, 2024 24-02694N

SECOND INSERTION NOTICE TO CREDITORS IN THE CIRCUIT COURT FOR PINELLAS COUNTY, FLORIDA PROBATE DIVISION File No 24-005578-ES IN RE: ESTATE OF CAROLYN E. WORLEY

Deceased. The administration of the estate of Carolyn E. Worley, deceased, whose date of death was March 14, 2024, is pending in the Circuit Court for Pinellas County, Florida, Probate Division, the address of which is 315 Court Street, Clearwater, Florida 33756. The names and addresses of the personal representative and the personal representative’s attorney are set forth below. All creditors of the decedent and other persons having claims or demands against decedent’s estate on whom a copy of this notice is required to be served must file their claims with this court ON OR BEFORE THE LATER OF 3 MONTHS AFTER THE TIME OF THE FIRST PUBLICATION OF THIS NOTICE OR 30 DAYS AFTER THE DATE OF SERVICE OF A COPY OF THIS NOTICE ON THEM. All other creditors of the decedent and other persons having claims or demands against decedent’s estate must file their claims with this court WITHIN 3 MONTHS AFTER THE DATE OF THE FIRST PUBLICATION OF THIS NOTICE.

ALL CLAIMS NOT FILED WITHIN THE TIME PERIODS SET FORTH IN FLORIDA STATUTES SECTION 733.702 WILL BE FOREVER BARRED.

NOTWITHSTANDING THE TIME PERIODS SET FORTH ABOVE, ANY CLAIM FILED TWO (2) YEARS OR MORE AFTER THE DECEDENT’S DATE OF DEATH IS BARRED. The date of first publication of this notice is June 14, 2024.

Personal Representative: Jonathan Tyler King 11109 69th Ave. N Seminole, Florida 33772

Attorney for Personal Representative: David A. Peek

david@theseminolelegalcenter.com, info@theseminolelegalcenter.com

Florida Bar No. 0044660

The Legal Center 10700 Johnson Blvd., Suite 1 Seminole, Florida 33772 Telephone: (727) 393-8822 June 14, 21, 2024 24-02758N

SECOND INSERTION NOTICE TO CREDITORS IN THE CIRCUIT COURT FOR PINELLAS COUNTY, FLORIDA

PROBATE DIVISION File No. 24-001692-ES Division: Probate IN RE: ESTATE OF JOSEPH RICHARD MIHALKO Deceased. The administration of the Estate of Joseph Richard Mihalko, deceased (the “Decedent”), whose date of death was March 16, 2023, is pending in the Circuit Court for Pinellas County, Florida, Probate Division, the address of which is 315 Court St., Clearwater, Florida 33756. The names and addresses of the Ancillary Personal Representative and the Ancillary Personal Representative’s attorney are set forth below. All creditors of the Decedent and other persons having claims or demands against Decedent’s estate on whom a copy of this notice is required to be served must file their claims with this Court ON OR BEFORE THE LATER OF THREE (3) MONTHS AFTER THE TIME OF THE FIRST PUBLICATION OF THIS NOTICE OR THIRTY (30) DAYS AFTER THE DATE OF SERVICE OF A COPY OF THIS NOTICE ON THEM. All other creditors of the Decedent and other persons having claims or demands against Decedent’s estate must file their claims with this Court WITHIN THREE (3) MONTHS AFTER THE DATE OF THE FIRST PUBLICATION OF THIS NOTICE. ALL CLAIMS NOT FILED WITHIN THE TIME PERIODS SET FORTH IN SECTION 733.702, FLORIDA STATUTES, WILL BE FOREVER BARRED. NOTWITHSTANDING THE TIME PERIODS SET FORTH ABOVE, ANY CLAIM FILED TWO (2) YEARS OR MORE AFTER THE DECEDENT’S DATE OF DEATH IS BARRED. The date of first publication of this notice is June 14, 2024.

Ancillary Personal Representative: Ellen Mary Koser 304 Prospect Mountain Road Litchfield, Connecticut 06759

Attorney for Ancillary Personal Representative: Paige Hammond Wolpert Florida Bar Number: 023213 E-Mail: pwolpert@shuffieldlowman.com

26 JUNE 21 – JUNE 27, 2024 BUSINESS OBSERVER PINELLAS COUNTY --- ESTATE ---
Personal Representative 2192 Duncan Drive Belleair Bluffs, FL 33770
Shuffield, Lowman & Wilson, P.A. 1000 Legion Place, Suite 1700 Orlando, Florida 32801 Telephone: (407) 581-9800 Fax: (407) 581-9801 Secondary E-Mail: Probateservice@shuffieldlowman.com June 14,
21, 2024 24-02685N
LV10177 legal@businessobserverfl.com E-mail your Legal Notice SAVE TIME

SECOND INSERTION

NOTICE TO CREDITORS IN THE CIRCUIT COURT FOR PINELLAS COUNTY, FLORIDA

PROBATE DIVISION

File No. 24-005583-ES Division 04

IN RE: ESTATE OF RITA JEANNENE BURKHARDT Deceased.

The administration of the estate of RITA JEANNENE BURKHARDT, deceased, whose date of death was April 29, 2024, is pending in the Circuit Court for Pinellas County, Florida, Probate Division, the address of which is 315 Court Street, Clearwater, FL 33756. The names and addresses of the personal representative and the personal representative’s attorney are set forth below.

All creditors of the decedent and other persons having claims or demands against decedent’s estate on whom a copy of this notice is required to be served must file their claims with this court ON OR BEFORE THE LATER OF 3 MONTHS AFTER THE TIME OF THE FIRST PUBLICATION OF THIS NOTICE OR 30 DAYS AFTER THE DATE OF SERVICE OF A COPY OF THIS NOTICE ON THEM.

All other creditors of the decedent and other persons having claims or demands against decedent’s estate must file their claims with this court WITHIN 3 MONTHS AFTER THE DATE OF THE FIRST PUBLICATION OF THIS NOTICE.

ALL CLAIMS NOT FILED WITHIN THE TIME PERIODS SET FORTH IN FLORIDA STATUTES SECTION 733.702 WILL BE FOREVER BARRED. NOTWITHSTANDING THE TIME PERIODS SET FORTH ABOVE, ANY CLAIM FILED TWO (2) YEARS OR MORE AFTER THE DECEDENT’S DATE OF DEATH IS BARRED.

The date of first publication of this notice is June 14, 2024.

Attorney and Personal Representative: MICHAEL L. CAHILL, ESQ.

Florida Bar Number: 0297290

Cahill Law Firm, P.A. 11125 Park Blvd., Ste. 104-229 Seminole, FL 33772

Telephone: (727) 398-4100

E-Mail: michael@cahillpa.com

Secondary E-Mail: attorneymichaelcahill@gmail.com

June 14, 21, 2024 24-02739N

SECOND INSERTION

NOTICE TO CREDITORS (Summary Administration) IN THE CIRCUIT COURT FOR PINELLAS COUNTY, FLORIDA

PROBATE DIVISION File No. 24-005411

Division ES IN RE: ESTATE OF ALICE YOUNG, Deceased.

TO ALL PERSONS HAVING CLAIMS OR DEMANDS AGAINST THE ABOVE ESTATE:

You are hereby notified that an Order of Summary Administration has been entered in the estate of Alice Young, deceased, File Number 24-005411, by the Circuit Court for Pinellas County, Florida, Probate Division, the address of which is 315 Court Street; that Decedent’s date of death was December 30, 2023; that the total value of the estate is $32,647.97 and that the names and addresses of those to whom it has been assigned by such order are:

Name Address

Zoe Roseman

14770 Shipwatch Trace, #1930 Largo, FL 33774

Melita Griffis

214 Brock Road Florahome, FL 32140 Big Brothers Big Sisters Of Tampa Bay, Inc. 3001 Executive Dr. Clearwater, FL 33762 ALL INTERESTED PERSONS ARE NOTIFIED THAT: All creditors of the estate of Decedent and persons having claims or demands against the estate of Decedent other than those for whom provision for full payment was made in the Order of Summary Administration must file their claims with this court WITHIN THE TIME PERIODS SET FORTH IN FLORIDA STATUTES SECTION

733.702. ALL CLAIMS AND DEMANDS NOT SO FILED WILL BE FOREVER BARRED. NOTWITHSTANDING ANY OTHER APPLICABLE TIME PERIOD, ANY CLAIM FILED TWO (2) YEARS OR MORE AFTER THE DECEDENT’S DATE OF DEATH IS BARRED.

The date of first publication of this Notice is 6/14, 2024.

Person Giving Notice:

Zoe Roseman

14770 Shipwatch Trace, #1930 Largo, FL 33765

Attorney for Person Giving Notice

/s/

SECOND INSERTION NOTICE TO CREDITORS IN THE CIRCUIT COURT FOR PINELLAS COUNTY, FLORIDA PROBATE DIVISION File No. 24-005215-ES IN RE: ESTATE OF LYNDA M. WEAVER Deceased. The administration of the ESTATE OF LYNDA M. WEAVER, Deceased, whose date of death was April 7, 2024, is pending in the Circuit Court for Pinellas County, Florida, Probate Division, the address of which is 315 Court Street, Clearwater, Florida 33756-5165. The names and addresses of the personal representative and the personal representative’s attorney are set forth below. All creditors of the decedent and other persons having claims or demands against decedent’s estate on whom a copy of this notice is required to be served must file their claims with this court ON OR BEFORE THE LATER OF 3 MONTHS AFTER THE TIME OF THE FIRST PUBLICATION OF THIS NOTICE OR 30 DAYS AFTER THE DATE OF SERVICE OF A COPY OF THIS NOTICE ON THEM.

All other creditors of the decedent and other persons having claims or demands against decedent’s estate must file their claims with this court WITHIN 3 MONTHS AFTER THE DATE OF THE FIRST PUBLICATION OF THIS NOTICE.

ALL CLAIMS NOT FILED WITHIN THE TIME PERIODS SET FORTH IN FLORIDA STATUTES SECTION 733.702 WILL BE FOREVER BARRED. NOTWITHSTANDING THE TIME PERIODS SET FORTH ABOVE, ANY CLAIM FILED TWO (2) YEARS OR MORE AFTER THE DECEDENT’S DATE OF DEATH IS BARRED.

The date of first publication of this notice is June 14, 2024.

Personal Representative: CHARLES J. WRIGHT P.O. Box 275 Driggs, Idaho 83422 Attorney for Personal Representative: JOHN SCHAEFER, ESQ. Florida Bar No. 313191 Schaefer, Wirth & Wirth 650 Main Street Safety Harbor, Florida 34695 Tel: (727) 345-4007 Fax: (727) 345-3942

E-Mail: swwlaw@gte.net June 14, 21, 2024 24-02737N

SECOND INSERTION NOTICE TO CREDITORS (Summary Administration) IN THE CIRCUIT COURT FOR PINELLAS COUNTY, FLORIDA PROBATE DIVISION File No. 24-005520-ES Division 003 IN RE: ESTATE OF GERALDINE E. DAVIS-MCNAMEE a/k/a GERALDINE DAVIS-MCNAMEE Deceased. TO ALL PERSONS HAVING CLAIMS OR DEMANDS AGAINST THE ABOVE ESTATE:

You are hereby notified that an Order of Summary Administration has been entered in the estate of GERALDINE E. DAVIS-MCNAMEE a/k/a GERALDINE DAVIS-MCNAMEE, deceased, File Number 24-005520-ES, by the Circuit Court for Pinellas County, Florida, Probate Division, the address of which is 315 Court Street, Clearwater, FL 33756; that the decedent’s date of death was January 27, 2024; that the total value of the estate is less than $75,000.00 and that the names and addresses of those to whom it has been assigned by such order are: Name Address Karen Ann Durig, as Trustee of the “Geraldine E. Davis-McNamee Trust,” dated September 20, 2013 1521 Hannum Drive Streetsboro, OH 44241

ALL INTERESTED PERSONS ARE NOTIFIED THAT:

All creditors of the estate of the decedent and persons having claims or demands against the estate of the decedent other than those for whom provision for full payment was made in the Order of Summary Administration must file their claims with this court WITHIN THE TIME PERIODS SET FORTH IN FLORIDA STATUTES

SECTION 733.702. ALL CLAIMS AND DEMANDS NOT SO FILED WILL BE FOREVER BARRED. NOTWITHSTANDING ANY OTHER APPLICABLE TIME PERIOD, ANY CLAIM FILED TWO (2) YEARS OR MORE AFTER THE DECEDENT’S DATE OF DEATH IS BARRED. The date of first publication of this Notice is June 14, 2024. Person Giving Notice: KAREN ANN DURIG 1521 Hannum Drive Streetsboro, Ohio 44241

Attorney for Person Giving Notice

Neil R. Covert, Esquire

Attorney Florida Bar Number: 227285

Neil R. Covert, P.A. 311 Park Place Blvd., Ste. 180 Clearwater, Florida 33759

Telephone: (727) 449-8200

Fax: (727) 450-2190

E-Mail: ncovert@covertlaw.com

Secondary E-Mail: service@covertlaw.com June 14, 21, 2024 24-02687N

PINELLAS COUNTY

SECOND INSERTION

NOTICE TO CREDITORS IN THE CIRCUIT COURT OF THE SIXTH JUDICIAL CIRCUIT IN AND FOR PINELLAS COUNTY, FLORIDA PROBATE DIVISION IN RE: ESTATE OF MARY EILEEN MASHIKIAN, Deceased.

The trust administration of The Revocable Trust Agreement of Mary Eileen Mashikian dated March 21, 1994, deceased, whose date of death was January 25, 2024, is pending. The names and addresses of the Trustee and the Trustee’s attorney are set forth below. All creditors of the decedent and other persons having claims or demands against decedent’s estate on whom a copy of this notice is required to be served must file their claims with the Attorney for the Trustee ON OR BEFORE THE LATER OF 3 MONTHS AFTER THE TIME OF THE FIRST PUBLICATION OF THIS NOTICE OR 30 DAYS AFTER THE DATE OF SERVICE OF A COPY OF THIS NOTICE ON THEM.

All other creditors of the decedent and other persons having claims or demands against decedent’s estate must file their claims with Attorney for the Trustee WITHIN 3 MONTHS AFTER THE DATE OF THE FIRST PUBLICATION OF THIS NOTICE.

ALL CLAIMS NOT FILED WITHIN THE TIME PERIODS SET FORTH IN FLORIDA STATUTES SECTION 733.702 WILL BE FOREVER BARRED. NOTWITHSTANDING THE TIME PERIODS SET FORTH ABOVE, ANY CLAIM FILED TWO (2) YEARS OR MORE AFTER THE DECEDENT’S DATE OF DEATH IS BARRED.

The date of first publication of this Notice is June 14, 2024. Trustee: Daniel M. Finnigan 14 Mosshill Place Stony Brook, NY 11790

Attorney for Trustee: H. Mary McKeown GROWNEY, MCKEOWN & BARBER, P.A. 3116 66th Street North St. Petersburg, Florida 33710

Telephone: (727) 384-3800

Fax: (727) 343-1685

Service E-Mail: mmckeown@barber-law.com

Florida Bar No.: 220043 June 14, 21, 2024 24-02767N

SECOND INSERTION

NOTICE TO CREDITORS (summary administration) IN THE CIRCUIT COURT FOR PINELLAS COUNTY, FLORIDA PROBATE DIVISION File No. 24-002587-ES003

Division Probate IN RE: ESTATE OF VIRGINIA K. MOWAT a/k/a VIRGINIA KAYE MOWAT Deceased. TO ALL PERSONS HAVING CLAIMS OR DEMANDS AGAINST THE ABOVE ESTATE:

You are hereby notified that an Order of Summary Administration has been entered in the estate of Virginia K. Mowat, deceased, File Number 24002587-ES003, by the Circuit Court for Pinellas County, Florida, Probate Division, the address of which is 315 Court Street, Room 106, Clearwater, Florida 33756; that the decedent’s date of death was January 4, 2024; that the total value of the estate is $0.00; and that the names and addresses of those to whom it has been assigned by such order are: NAME ADDRESS

Thomas Mott

619 Lowell Drive Endwell, New York 13760

Amanda Rogers 54 Hanson Road Deposit, New York 13754

ALL INTERESTED PERSONS ARE NOTIFIED THAT:

All creditors of the estate of the decedent and persons having claims or demands against the estate of the decedent other than those for whom provision for full payment was made in the Order of Summary Administration must file their claims with this court WITHIN THE TIME PERIODS SET FORTH IN FLORIDA STATUTES SECTION 733.702. ALL CLAIMS AND DEMANDS NOT SO FILED WILL BE FOREVER BARRED. NOTWITHSTANDING ANY OTHER APPLICABLE TIME PERIOD, ANY CLAIM FILED TWO (2) YEARS OR MORE AFTER THE DECEDENT’S DATE OF DEATH IS BARRED.

The date of first publication of this Notice is June 14, 2024.

Persons Giving Notice: Thomas Mott 619 Lowell Drive Endwell, New York 13760

Amanda Rogers 54 Hanson Road Deposit, New York 13754

Attorney for Persons Giving Notice: Megan R. Hamisevicz

Trask Daigneault, LLP 1001 S Ft Harrison Avenue, Suite 201 Clearwater, Florida 33756

Telephone: (727) 733-0494

E-mail Address: megan@cityattorneys.legal Florida Bar No. 1023766

June 14, 21, 2024 24-02754N

SECOND INSERTION NOTICE TO CREDITORS IN THE CIRCUIT COURT OF THE 6th JUDICIAL CIRCUIT IN AND FOR PINELLAS COUNTY, FLORIDA PROBATE DIVISION FILE NO: 24-004869-ES IN RE: ESTATE OF JARRETT V. LANGSTON, Deceased.

The administration of the estate of JARRETT V. LANGSTON, deceased, whose date of death was March 13, 2024, is pending in the Circuit Court for Pinellas County, Florida, Probate Division, the address of which is: Clerk of Court Probate Division 315 Court Street, Rm 106 Clearwater, FL 33756

The names and addresses of the Personal Representative and the Personal Representative’s attorney are set forth below.

All creditors of the decedent, and other persons having claims or demands against the decedent’s estate on whom a copy of this notice has been served must file their claims with this court, WITHIN THE LATER OF THREE (3) MONTHS AFTER THE DATE OF THE FIRST PUBLICATION OF THIS NOTICE OR THIRTY (30) DAYS AFTER THE DATE OF SERVICE OF A COPY OF THIS NOTICE ON THEM.

All other creditors of the decedent, and other persons having claims or demands against decedent’s estate must file their claims with this court WITHIN THREE MONTHS (3) AFTER THE DATE OF THE FIRST PUBLICATION OF THIS NOTICE.

ALL CLAIMS, NOT SO FILED WILL BE FOREVER BARRED. NOTWITHSTANDING THE TIME PERIOD SET FORTH ABOVE, ANY CLAIM FILED TWO YEARS (2) OR MORE AFTER THE DECEDENT’S DATE OF DEATH IS BARRED.

The date of the first publication of this notice is June 14, 2024.

COLLEEN SHARON WINNETT Personal Representative 4510 Oak River Circle Valrico, FL 33506

ANGELA M. TORMEY, ESQUIRE

ACEMaven Legal, P.A.

Florida Bar No.: 1010466 1070 Bloomingdale Avenue Valrico, Florida 33596

Telephone (813) 445-8178

E-Mail: angela@acemavenlegal.com

Secondary E-Mail: assistant@acemavenlegal.com.

June 14, 21, 2024 24-02725N

SECOND INSERTION NOTICE TO CREDITORS IN THE CIRCUIT COURT FOR THE SIXTH JUDICIAL CIRCUIT IN AND FOR PINELLAS COUNTY, FLORIDA PROBATE DIVISION File No. 24-004976-ES IN RE: ESTATE OF DAVID WALTER VAN METER, Deceased. The administration of the Estate of DAVID WALTER VAN METER, deceased, whose date of death was March 23, 2024, is pending in the Pinellas County, Florida, Probate Division, the address of which is 545 1st Ave N. St. Petersburg, FL 33701. The names and addresses of the Personal Representative and the Personal Representative’s attorney are set forth below.

All creditors of Decedent and other persons having claims or demands against Decedent’s Estate on whom a copy of this notice is required to be served must file their claims with this court WITHIN THE LATER OF THREE (3) MONTHS AFTER THE TIME OF THE FIRST PUBLICATION OF THIS NOTICE OR THIRTY (30) DAYS AFTER THE DATE OF SERVICE OF A COPY OF THIS NOTICE ON THEM.

All other creditors of Decedent and other persons having claims or demands against Decedent’s Estate must file their claims with this court WITHIN THREE (3) MONTHS AFTER THE DATE OF THE FIRST PUBLICATION OF THIS NOTICE.

ALL CLAIMS NOT FILED WITHIN THE TIME PERIODS SET FORTH IN SECTION 733.702 OF THE FLORIDA PROBATE CODE WILL BE FOREVER BARRED.

NOTWITHSTANDING THE TIME PERIODS SET FORTH ABOVE, ANY CLAIM FILED TWO (2) YEARS OR MORE AFTER DECEDENT’S DATE OF DEATH IS BARRED.

The date of first publication of this notice is 06/14/2024. LORIE VAN METER, Personal Representative

c/o Berlin Patten Ebling, PLLC 525-1st Avenue North St. Petersburg, Florida 33701

LAUREN V. MABE, ESQ.

Florida Bar No. 1025208

Berlin Patten Ebling, PLLC

324 S. Hyde Park Avenue., Suite 325 Tampa, Florida 33606

Telephone: (813) 467-7500

Fax: (813) 251-1662

Primary Email: lmabe@berlinpatten.com

Secondary Email: tkelley@berlinpatten.com

Secondary Email: probate@berlinpatten.com

Attorneys for Lorie Van Meter, Personal Representative June 14, 21, 2024 24-02705N

SECOND INSERTION

NOTICE TO CREDITORS IN THE CIRCUIT COURT OF THE SIXTH JUDICIAL CIRCUIT IN AND FOR PINELLAS COUNTY, FLORIDA PROBATE DIVISION File No. 24-004911-ES IN RE: ESTATE OF LEE, JANE S. Deceased.

The administration of the estate of JANE S. LEE, deceased, whose date of death was found deceased on December 7, 2023, is pending in the Circuit Court for Pinellas County, Florida, Probate Division, the address of which is 315 Court Street, Clearwater, FL 33756. The names and addresses of the personal representative and the personal representative’s attorney are set forth below.

All creditors of the decedent and other persons having claims or demands against decedent’s estate, on whom a copy of this notice is required to be served, must file their claims with this court ON OR BEFORE THE LATER OF 3 MONTHS AFTER THE TIME OF THE FIRST PUBLICATION OF THIS NOTICE OR 30 DAYS AFTER THE DATE OF SERVICE OF A COPY OF THIS NOTICE ON THEM.

All other creditors of the decedent and other persons having claims or demands against decedent’s estate must file their claims with this court WITHIN 3 MONTHS AFTER THE DATE OF THE FIRST PUBLICATION OF THIS NOTICE.

ALL CLAIMS NOT FILED WITHIN THE TIME PERIODS SET FORTH IN FLORIDA STATUTES SECTION 733.702 WILL BE FOREVER BARRED.

NOTWITHSTANDING THE TIME PERIOD SET FORTH ABOVE, ANY CLAIM FILED TWO (2) YEARS OR MORE AFTER THE DECEDENT’S DATE OF DEATH IS BARRED.

The date of first publication of this notice is: June 14, 2024.

Personal Representative(s): Carolyn J. Lee 1896 Nursery Road Clearwater, FL 33764

Attorney for Personal Representative(s): DENISE N. MURPHY, ESQUIRE 531 Main Street, Suite F Safety Harbor, FL 34695

Phone: (727) 725-8101

Primary: denise@denisemurphypa.com

Secondary: angela@denisemurphypa.com

Florida Bar No: 0119598 June 14, 21, 2024 24-02708N

SECOND INSERTION

NOTICE TO CREDITORS IN THE SIXTH JUDICIAL CIRCUIT COURT IN AND FOR PINELLAS COUNTY, FLORIDA FILE NO.: 24-005869-ES

PROBATE DIVISION IN RE: ESTATE OF LINCOLN KENNETH LEARNED Deceased

The administration of the estate of LINCOLN KENNETH LEARNED, deceased, whose date of death was April 29, 2024, is pending in the Circuit Court for Pinellas County, Florida, Probate Division, the address of which is 545 1st Ave N, St. Petersburg, FL 33701. The names and addresses of the personal representative and the personal representative’s attorney are set forth below.

All creditors of the decedent and other persons having claims or demands against decedent’s estate on whom a copy of this notice is required to be served must file their claims with this court ON OR BEFORE THE LATER OF 3 MONTHS AFTER THE TIME OF THE FIRST PUBLICATION OF THIS NOTICE OR 30 DAYS AFTER THE DATE OF SERVICE OF A COPY OF THIS NOTICE ON THEM.

All other creditors of the decedent and other persons having claims or demands against decedent’s estate must file their claims with this court WITHIN 3 MONTHS AFTER THE DATE OF THE FIRST PUBLICATION OF THIS NOTICE.

ALL CLAIMS NOT FILED WITHIN THE TIME PERIODS SET FORTH IN FLORIDA STATUTES SECTION 733.702 WILL BE FOREVER BARRED.

NOTWITHSTANDING THE TIME PERIODS SET FORTH ABOVE, ANY CLAIM FILED TWO (2) YEARS OR MORE AFTER THE DECEDENT’S DATE OF DEATH IS BARRED. The date of first publication of this notice is June 14, 2024. Petitioner /s/ Madisson Learned Madisson Learned Petitioner 5630 55th North Street St. Petersburg, FL 33709

Attorney for Petitioner: /s/ David M. Deutsch, Esq. David M. Deutsch, Esq. Florida Bar Number: 1000339

THE DEUTSCH LAW FIRM PLLC

433 Plaza Real Suite 275

Boca Raton, FL 33432

Telephone: (561) 200-6554

Fax: (561) 200-6554

E-Mail: david@deutschpc.com

Secondary E-Mail: service@deutschpc.com June 14, 21, 2024 24-02706N

SECOND INSERTION NOTICE TO CREDITORS IN THE CIRCUIT COURT FOR PINELLAS COUNTY, FLORIDA PROBATE DIVISION File No. 24-005307-ES Division Probate IN RE: ESTATE

Room 106, Clearwater, Florida 33756. The names and addresses of the personal representative and the personal representative’s attorney are set forth below. All creditors of the decedent and other persons having claims or demands against decedent’s estate on whom a copy of this notice is required to be served must file their claims with this court ON OR BEFORE THE LATER OF 3 MONTHS AFTER THE TIME OF THE FIRST PUBLICATION OF THIS NOTICE OR 30 DAYS AFTER THE DATE OF SERVICE OF A COPY OF THIS NOTICE ON THEM. All other creditors of the decedent and other persons having claims or demands against decedent’s estate must file their claims with this court WITHIN 3 MONTHS AFTER THE DATE OF THE FIRST PUBLICATION OF THIS NOTICE. ALL CLAIMS NOT FILED WITHIN THE TIME PERIODS SET FORTH IN FLORIDA STATUTES SECTION 733.702 WILL BE FOREVER BARRED.

NOTWITHSTANDING THE TIME PERIODS SET FORTH ABOVE, ANY CLAIM FILED TWO (2) YEARS OR MORE AFTER THE DECEDENT’S DATE OF DEATH IS BARRED. The date of first publication of this notice is June 14, 2024.

Personal Representative: Rebecca Thomas Baker 12876 Woodside Drive South Chesterland, Ohio 44026 Attorney for Personal Representative: Megan R. Hamisevicz Trask Daigneault, LLP 1001 S Ft Harrison Avenue, Suite 201 Clearwater, Florida 33756 Telephone: (727) 733-0494 E-mail Address: megan@cityattorneys.legal Florida Bar No. 1023766 June 14, 21, 2024 24-02743N

SECOND INSERTION

NOTICE TO CREDITORS IN THE CIRCUIT COURT FOR PINELLAS COUNTY, FLORIDA PROBATE DIVISION File No: 24- 004725ES IN RE: ESTATE OF STEVEN JEWELL Deceased. The administration of the estate of STEVEN JEWELL deceased, whose date of death was March 23, 2024; File Number 24-004725 ES, is pending in the Circuit Court for Pinellas County, Florida, Probate Division, the address of which is 315 Court Street, Clearwater, Florida 33756. The names and addresses of the personal representative and the personal representative’s attorney are set forth below. All creditors of the decedent and other persons having claims or demands against decedent’s estate, on whom a copy of this notice is required to be served, must file their claims with this court ON OR BEFORE THE LATER OF 3 MONTHS AFTER THE TIME OF THE FIRST PUBLICATION OF THIS NOTICE OR 30 DAYS AFTER THE DATE OF SERVICE OF A COPY OF THIS NOTICE ON THEM. All other creditors of the decedent and other persons having claims or demands against decedent’s estate must file their claims with this court WITHIN 3 MONTHS AFTER THE DATE OF THE FIRST PUBLICATION OF THIS NOTICE. ALL CLAIMS NOT FILED WITHIN THE TIME PERIODS SET FORTH IN SECTION 733.702 OF THE FLORIDA PROBATE CODE WILL BE FOREVER BARRED. NOTWITHSTANDING THE TIME PERIOD SET FORTH ABOVE, ANY CLAIM FILED TWO (2) YEARS OR MORE AFTER THE DECEDENT’S DATE OF DEATH IS BARRED. The date of first publication of this notice is: June 14, 2024. Signed on June 10, 2024. Harry Silverman Harry Silverman Personal Representative 27 Tudor Dr. Ocean, NJ 07712

Gregory

June 14, 21, 2024 24-02738N

27 JUNE 21 – JUNE 27, 2024 BusinessObserverFL.com
--- ESTATE ---
Kit Van Pelt Kit Van Pelt Attorney Florida Bar Number: 106754 Griffin & Van Pelt, P.A. 1455 Court Street Clearwater, FL 33756 Telephone: (727) 449-9800 Fax: (727) 446-2748 E-Mail: kit@lawyergriffin.com Secondary E-Mail: jennie@lawyergriffin.com June 14, 21, 2024 24-02714N
H Fisher Gregory H. Fisher Attorney for Personal Representative Florida Bar No. 0198986 SPN#00000171 Law Offices of Gregory H. Fisher 5520 First Avenue North St. Petersburg, Florida 33710-8006 Telephone: 727-344-5512 Email: fishlaw@gte.net
Street,
OF MICHAEL C. THOMAS Deceased. The administration of the estate of Michael C. Thomas, deceased, whose date of death was April 16, 2024, is pending in the Circuit Court for Pinellas County, Florida, Probate Division, the address of which is 315 Court

--- ESTATE ---

SECOND INSERTION NOTICE TO CREDITORS (Summary Administration) IN THE CIRCUIT COURT FOR PINELLAS COUNTY, FLORIDA

PROBATE DIVISION File No. 24-006091-ES IN RE: ESTATE OF LYNN ERIC SPECK Deceased.

TO ALL PERSONS HAVING CLAIMS OR DEMANDS AGAINST THE ABOVE ESTATE:

You are hereby notified that an Order of Summary Administration has been entered in the estate of Lynn Eric Speck, deceased, File Number 24-, by the Circuit Court for Pinellas County, Florida, Probate Division, the address of which is 315 Court Street, Clearwater, FL 33756; that the decedent’s date of death was February 25, 2024; that the total value of the estate is less than $75,000.00 and that the names and addresses of those to whom it has been assigned by such order are:

Name Address

Mary Virginia Speck 2003 San Sebastian Way S Clearwater, FL 33763 ALL INTERESTED PERSONS ARE NOTIFIED THAT: All creditors of the estate of the decedent and persons having claims or demands against the estate of the decedent other than those for whom provision for full payment was made in the Order of Summary Administration must file their claims with this court WITHIN THE TIME PERIODS SET FORTH IN FLORIDA STATUTES

SECTION 733.702. ALL CLAIMS AND DEMANDS NOT SO FILED WILL BE FOREVER BARRED. NOTWITHSTANDING ANY OTHER

APPLICABLE TIME PERIOD, ANY CLAIM FILED TWO (2) YEARS OR MORE AFTER THE DECEDENT’S

DATE OF DEATH IS BARRED.

The date of first publication of this Notice is June 14, 2024.

Person Giving Notice:

Mary Virginia Speck 2003 San Sebastian Way S Clearwater, Florida 33763

Attorney for Person Giving Notice

Patrick L. Smith, Attorney Florida Bar Number: 27044

179 N US Hwy 27, Ste. F Clermont, FL 34711

Telephone: (352) 204-0305

Fax: (352) 989-4265

E-Mail:

patrick@attorneypatricksmith.com

Secondary E-Mail: becky@attorneypatricksmith.com

June 14, 21, 2024 24-02779N

SECOND INSERTION

NOTICE TO CREDITORS IN THE CIRCUIT COURT FOR THE SIXTH JUDICIAL CIRCUIT IN AND FOR PINELLAS COUNTY, FLORIDA PROBATE DIVISION CASE NO: 24-005582-ES-04 IN RE: ESTATE OF KRISTEN BLAINE BOSS (fka: KRISTEN B. PARKER), Deceased.

An Order of Summary Administration of the Estate of Kristen Blaine Boss, Deceased, whose date of death was July 14, 2022; Case Number 24-005582ES-04, has been entered in the Circuit Court for Pinellas County, Florida, Probate Division, the address of which is 315 Court Street, Clearwater, Florida 33756. The total value of the Estate, other than homestead and exempt property, is $0.00. The names and addresses of those to whom the Petitioner has requested for the assets of the Estate to be assigned are Christopher W. Boss, 1907 Arrowhead Dr NE, St Petersburg, FL 33703, and the name and address of the Petitioner’s attorney are set forth below. All creditors of the Decedent and other persons having claims or demands against Decedent’s Estate, including unmatured, contingent or unliquidated claims, on whom a copy of this notice is served must file their claims with this Court WITHIN THE LATER OF THREE (3) MONTHS AFTER THE DATE OF THE FIRST PUBLICATION OF THIS NOTICE OR THIRTY (30) DAYS AFTER THE DATE OF SERVICE OF A COPY OF THIS NOTICE ON THEM. All other creditors of the Decedent and persons having claims or demands against the Decedent’s Estate, including unmatured, contingent or unliquidated claims, must file their claims with this court WITHIN THREE (3) MONTHS AFTER THE DATE OF THE FIRST PUBLICATION OF THIS NOTICE. ALL CLAIMS, DEMANDS AND OBJECTIONS NOT SO FILED WILL BE FOREVER BARRED. NOTWITHSTANDING THE TIME

PERIODS SET FORTH ABOVE, ANY CLAIM FILED TWO (2) YEARS OR MORE AFTER THE DECEDENT’S DATE OF DEATH IS BARRED. The date of the first publication of this Notice is June 14, 2024.

CARR LAW GROUP, P.A.

Lee R. Carr, II, Esquire 200 Central Avenue, Suite 400 St. Petersburg, FL 33701

Voice: 727-894-7000; Fax: 727-821-4042

Primary email address: lcarr@carrlawgroup.com

Secondary email address: pcardinal@carrlawgroup.com

June 14, 21, 2024 24-02773N

SECOND INSERTION

NOTICE TO CREDITORS IN THE CIRCUIT COURT FOR PINELLAS COUNTY, FLORIDA

PROBATE DIVISION

Case No.: 24-004116-ES-03

IN RE: ESTATE OF CATHY JO SMITH, DECEASED.

The administration of the estate of CATHY JO SMITH, deceased, File No. 24-004116-ES-03 is pending in the Circuit Court for Pinellas County, Probate Division, 315 Court Street, Clearwater, FL 33756. The names and addresses of the Personal Representative and the Personal Representative’s attorney are set forth below.

ALL CREDITORS ARE NOTIFIED THAT:

All creditors of the Decedent having claims or demands against Decedent’s estate on whom a copy of this Notice is served within three months after the date of the first publication of this Notice MUST FILE THEIR CLAIMS WITH THIS COURT WITHIN THE LATER OF THREE MONTHS AFTER THE DATE OF THE FIRST PUBLICATION OF THIS NOTICE OR THIRTY DAYS AFTER THE DATE OF SERVICE OF A COPY OF THIS NOTICE ON THEM. ALL CLAIMS AND DEMANDS NOT SO FILED WILL BE FOREVER BARRED.

The date of the first publication of this Notice is Friday, June 14, 2024.

Personal Representative: William Andrew Sewell III 4753 Eastwood Lane Holiday, FL 34690

Attorney for Personal Representative: Margot Pequignot, Esquire Margot Pequignot, P.A. 164 8th Ave. SW Largo, FL 33770 (727) 518-7330 marpeq@aol.com FBN 0319155 June 14, 21, 2024 24-02742N

--- ACTIONS / SALES ---

SECOND INSERTION

Amended NOTICE OF SALE UNDER F.S. CHAPTER 45 IN THE CIRCUIT COURT OF THE SIXTH JUDICIAL CIRCUIT, IN AND FOR PINELLAS COUNTY, FLORIDA Case No. 23-006552-CI

Honorable Judge: NEWTON PLANET HOME LENDING, LLC Plaintiff, vs. RONALD ALAN BROADHURST, SR; UNKNOWN SPOUSE OF RONALD ALAN BROADHURST, SR; BARDMOOR NORTH PROPERTY OWNERS ASSOCIATION INC; KAM ROOFING SERVICES; UNKNOWN TENANT OCCUPANT #1, UNKNOWN TENANT OCCUPANT #2; Defendants, NOTICE IS GIVEN that, in accordance with the Agreed Order on Motion to Cancel and Reschedule the Foreclosure Sale Set for Auction dated June 6, 2024 in the above-styled cause, Ken Burke, as the Clerk of the Circuit Court, will sell to the highest and best bidder for cash online at https://www. pinellas.realforeclose.com at 10:00 A.M. on October 8, 2024 the following described property:

LOT 17, BARDMOOR COUNTRY CLUB NORTH, PHASE 1, ACCORDING TO THE MAP OR PLAT THEREOF, AS RECORDED IN PLAT BOOK 80, PAGE(S) 54 THROUGH 60, INCLUSIVE, OF THE PUBLIC RECORDS OF PINELLAS COUNTY, FLORIDA. TAX ID # R142953 COMMONLY KNOWN AS: 8633 LONGWOOD DR, LARGO FL 33777-1310

Any person claiming an interest in the surplus from the sale, if any, other than the property owner as of the date of the lis pendens must file a claim before the clerk reports the surplus as unclaimed. “If you are a person with a disability who needs any accommodation in order to participate in this proceeding, you are entitled, at no cost to you, to the provision of certain assistance. Please contact the Human Rights Office, 400 S. Ft. Harrison Ave., Ste. 300, Clearwater, FL 33756, (727) 464-4062 (V/ TDD) at least 7 days before your scheduled court appearance, or immediately upon receiving this notification if the time before the scheduled appearance is less than 7 days; if you are hearing or voice impaired, call 711.”

Dated this June 10, 2024. Attorney(s) for Plaintiff 605 E. Robinson, Suite 730 Orlando, FL 32801

Telephone: (407) 308-0991 Service: mattw@wasingerlawoffice.com By: /s/ Matthew T. Wasinger Matthew T. Wasinger, Esquire Fla. Bar No.: 0057873 June 14, 21, 2024 24-02756N

SECOND INSERTION

NOTICE OF ACTION IN THE CIRCUIT COURT OF THE SIXTH JUDICIAL CIRCUIT, IN AND FOR PINELLAS COUNTY, FLORIDA CIVIL DIVISION

Case No: 24-001979-CI 5131 MLK ST S, LLC, Plaintiff, V. FEDERAL NATIONAL MORTGAGE ASSOCIATION AND ANY SUCCESSORS, ASSIGNS, DEVISEES, GRANTEES, CREDITORS, OR ANY AND ALL OTHERS CLAIMING BY THROUGH UNDER OR AGAINST IT, Defendant.

TO: FEDERAL NATIONAL MORTGAGE ASSOCIATION 1100 15th Street NW Washington DC 20005

YOU ARE NOTIFIED that an action has been filed against you and that you are required to serve a copy of your written defenses, if any, to it on 5131 MLK ST S, LLC c/o William D. Slicker, Esq., whose address is 5505 38th Avenue North, St. Petersburg, Florida 33710 on or before 30 Days after 1st Publication, and file the original with the clerk of this Court at 545 1st Ave N, St. Petersburg, Florida 33701 before service on Petitioner or immediately thereafter. If you fail to do so, a default may be entered against you for the relief demanded in the complaint.

Copies of all court documents in this case, including orders, are available at the Clerk of the Court's office. You may review these documents upon request.

“If you are a person with a disability who needs any accommodation in order to participate in this proceeding, you are entitled, at no cost to you, to the provision of certain assistance. Please contact the Human Rights Office, 400 S. Ft. Harrison Ave., Ste. 300, Clearwater, FL 33756, (727) 464-4062 (V/ TDD) at least 7 days before your scheduled court appearance, or immediately upon receiving this notification if the time before the scheduled appearance is less than 7 days; if you are hearing or voice impaired, call 711.”

DATED: 6/7/2024

KEN BURKE

Clerk of the Circuit Court and Comptroller 315 Court Street Clearwater, Pinellas County, FL 33756-5165

CLERK OF THE CIRCUIT COURT By: /s/ Thomas Smith Deputy Clerk June 14, 21, 28; July 5, 2024 24-02709N

SECOND INSERTION

NOTICE OF ACTION IN THE CIRCUIT COURT OF THE SIXTH JUDICIAL CIRCUIT IN AND FOR PINELLAS COUNTY, FLORIDA CIVIL DIVISION UCN: 522023CA006750XXCICI Case No. 23-006750-CISection 15

WILLIAM DEAN WALLACE AND FRANCES WILLIAM, TRUSTEES UNDER THE DEAN WALLACE AND FRANCES LOU WALLACE REVOCABLE LIVING TRUST AGREEMENT DATED OCTOBER 1, 1991, et al Plaintiffs, v. C.M. BLANC, BETTIE BLANC, AND IF ANY OF THEM IS DECEASED, HIS/HER UNKNOWN SPOUSE, HEIRS DEVISEES, GRANTEES, CREDITORS AND ALL OTHER PARTIES CLAIMING BY, THROUGH, UNDER OR AGAINST HIM/HER, and ANY KNOWN OR UNKNOWN NATURAL PERSON, et al Defendants.

TO: MICHELE BLANC KINZEL HARRINGTON 5792 SANDERS ROAD LYLES, TN 37098

YOU ARE NOTIFIED that a Second Amended Complaint for Quieting Title has been filed against you and you are required to serve a copy of your written defenses, if any, to it, on Clay A. Gilman, Esq., Macfarlane Ferguson & McMullen, P.A., P.O. Box 1669, Clearwater, FL 33757 on or before July 12, 2024, a date at least thirty (30) days after the first publication of this Notice in the BUSINESS OBSERVER and file the original with the Clerk of this Court either before service on Plaintiff’s attorney or immediately thereafter; otherwise a default will be entered against you for the relief demanded in the Complaint. If you are a person with a disability who needs an accommodation, you are entitled, at no cost to you, to the provision of certain assistance. To request such an accommodation please contact the Office of Human Rights, by written or oral request, within seven days of the date but at least three (3) business days prior to the date the service is needed, at: 400 South Fort Harrison Avenue, Suite 500, Clearwater, Florida 33756, Phone: (727) 464-4880, TDD: (727) 464-4062; if you are hearing or voice impaired, call 711. WITNESS my hand and seal of this Court on the 5th day of June, 2024. KEN BURKE, CPA Clerk of the Circuit Court by: /s/ Thomas Smith as Deputy Clerk June 14, 21, 28; July 5, 2024 24-02688N

SECOND INSERTION

NOTICE OF ACTION (formal notice by publication) IN THE CIRCUIT COURT OF THE SIXTH JUDICIAL DISTRICT IN AND FOR PINELLAS COUNTY, FLORIDA

PROBATE DIVISION CASE NO. 21-004659-ES4 IN RE: ESTATE OF WILLIAM G MIHAY

TO: HEIR OF WILLIAM G MIHAY, DECEASED NAME and ADDRESS KAMYAR, IRAJ (Address Unknown, servicing by publication, Florida Statute Chapter 49) RELATIONSHIP Friend of the decedent, specific devisee YOU ARE NOTIFIED that a PETITION TO DEPOSIT UNCLAIMED PROPERTY HELD BY CURATOR OF THE ESTATE has been filed in this Court. You are required to serve a copy of

your written defenses, if any, on the Petitioner’s attorney, whose name and address are: PEGGY CLARIE, ESQUIRE, CLARIE LAW OFFICES, P.A., 1101 PASADENA AVENUE SOUTH, SUITE 3, SOUTH PASADENA, FL 33707, on or before July 12th, 2024, and to file the original of the written defenses with the clerk of this court either before service or immediately thereafter. Failure to serve and file written defenses as required may result in a judgment or order for the relief demanded, without further notice. Signed on June 7th, 2024 First Publication on: June 14th, 2024. KEN BURKE, CLERK OF THE CIRCUIT COURT AND COMPTROLLER, As Clerk of the Court 06/07/2024 03:53:45 PM By: Veronica Decker As Deputy Clerk June 14, 21, 28; July 5, 2024 24-02744N

SECOND INSERTION NOTICE OF ACTION IN THE CIRCUIT COURT OF THE 6TH JUDICIAL CIRCUIT, IN AND FOR PINELLAS COUNTY, FLORIDA CIVIL DIVISION CASE NO. 24-000418-CI TOWD POINT MORTGAGE TRUST 2017-1, U.S. BANK NATIONAL ASSOCIATION, AS INDENTURE TRUSTEE, Plaintiff, vs. DANIEL PARRISH A/K/A DANIEL D. PARRISH; UNKNOWN SPOUSE OF DANIEL PARRISH A/K/A DANIEL D. PARRISH; TRUIST BANK, SUCCESSOR BY MERGER TO SUNTRUST BANK; UNKNOWN PERSON(S) IN POSSESSION OF THE SUBJECT PROPERTY, Defendant(s) To the following Defendant(s): DANIEL PARRISH A/K/A DANIEL D. PARRISH 1741 25TH AVE N SAINT PETERSBURG, FLORIDA

33713 who is evading service of process and the unknown defendants who may be spouses, heirs, devisees, grantees, assignees, lienors, creditors, trustees, and all parties claiming an interest by, through, under or against the defendant(s), who are not known to be dead or alive, and all parties having or claiming to have any right, title or interest in the property described in the mortgage being foreclosed herein. YOU ARE NOTIFIED that an action for Foreclosure of Mortgage on the following described property: LOT 12 AND THE WEST 1/2 OF LOT 13, BLOCK B, LAKE EUCLID, ACCORDING TO THE PLAT THEREOF, RECORDED IN PLAT BOOK 18, PAGE 42 PUBLIC RECORDS OF PINELLAS COUNTY, FLORIDA a/k/a 1741 25TH AVE N,, SAINT

PETERSBURG, FLORIDA

33713

has been filed against you and you are required to serve a copy of your written defenses, if any, to it, on Kahane & Associates, P.A., Attorney for Plaintiff, whose address is 1619 NW 136th Avenue, Suite D-220, Sunrise, FLORIDA 33323 on or before , a date which is within thirty (30) days after the first publication of this Notice in the BUSINESS OBSERVER and file the original with the Clerk of this Court either before service on Plaintiff’s attorney or immediately thereafter; otherwise a default will be entered against you for the relief demanded in the complaint. This notice is provided pursuant to Administrative Order 2010-045 PA/ PI-CIR “If you are a person with a disability who needs any accommodation in order to participate in this proceeding, you are entitled, at no cost to you, to the provision of certain assistance. Please contact the Human Rights Office, 400 S. Ft. Harrison Ave., Ste.300, Clearwater, FL 33756, (727) 464-4062 (V/TDD) at least 7 days before your scheduled court appearance, or immediately upon receiving this notification if the time before the scheduled appearance is less than 7 days; if you hearing or voice impaired, call 711.” WITNESS my hand and the seal of this Court this 11th day of June, 2024. KEN BURKE As Clerk of the Court By /s/ Thomas Smith As Deputy Clerk Submitted by: Kahane & Associates, P.A. 1619 NW 136th Avenue, Suite D-220 Sunrise, Florida 33323 Telephone: (954) 382-3486 Telefacsimile: (954) 382-5380 Designated service email: notice@kahaneandassociates.com 23-00819 SPS V1.20140101 June 14, 21, 2024 24-02764N

SECOND INSERTION

NOTICE OF FORECLOSURE SALE IN THE CIRCUIT COURT OF THE 6TH JUDICIAL CIRCUIT, IN AND FOR PINELLAS COUNTY, FLORIDA CIVIL DIVISION: CASE NO.: 23-000473-CI NATIONSTAR MORTGAGE LLC, Plaintiff, vs. UNKNOWN HEIRS, BENEFICIARIES, DEVISEES, ASSIGNEES, LIENORS, CREDITORS, TRUSTEES AND ALL OTHERS WHO MAY CLAIM INTEREST IN THE ESTATE OF BRENDA LUANNE WAGNER

A/K/A BRENDA L. WAGNER A/K/A BRENDA WAGNER, et., al., Defendants, NOTICE IS HEREBY GIVEN pursuant to the Uniform Final Judgment of Foreclosure entered on the 11th of June 2024, in Case No. 23-000473-CI, of the Circuit Court of the 6TH Judicial Circuit in and for Pinellas County, Florida, wherein, NATIONSTAR MORTGAGE LLC, is the Plaintiff. Final Judgment is hereby entered in favor of the Plaintiff, against Defendants, UNKNOWN HEIRS, BENEFICIARIES, DEVISEES, ASSIGNEES, LIENORS, CREDITORS, TRUSTEES AND ALL OTHERS WHO MAY CLAIM INTEREST IN THE ESTATE OF BRENDA LUANNE WAGNER

A/K/A BRENDA L. WAGNER

A/K/A BRENDA WAGNER; SHAWN WAGNER; MAINLANDS OF TAMARAC BY THE GULF UNIT FIVE ASSOCIATION, INC.; UNKNOWN TENANT #1 AND UNKNOWN TENANT #2. Ken Burke Clerk of this Court shall sell to the highest and best bidder for cash electronically at www.pinellas. realforeclose.com, the Clerk’s website for on-line auctions at, 10:00 AM on the 17th day of July 2024, the following described property as set forth in said Final Judgment, to wit: LOT 29, BLOCK 100, THE MAINLANDS OF TAMARAC BY THE GULF UNIT FIVE, PHASE I, A CONDOMINIUM, ACCORDING TO THE PLAT THEREOF AS RECORDED IN CONDOMINIUM PLAT BOOK 23, PAGES 49 THROUGH 53, OF THE PUBLIC RECORDS OF PINELLAS COUNTY,

SECOND INSERTION

NOTICE OF SALE IN THE CIRCUIT COURT OF THE SIXTH JUDICIAL CIRCUIT IN AND FOR PINELLAS COUNTY, FLORIDA

CIVIL DIVISION CASE NO. 24-000132-CI HARVEY SCHONBRUN, AS TRUSTEE, Plaintiff, vs. RENA BAILEY and RANDY OATMAN, wife and husband, Defendants.

Notice is hereby given that, pursuant to a Uniform Final Judgment of Foreclosure entered in the above styled cause, in the Circuit Court of Pinellas County, Florida, the Office of Ken Burke, Clerk of the Circuit Court, will sell the property situate in Pinellas County, Florida, described as:

Lot 14, Block A, PAINE’S SUBDIVISION, according to the map or plat thereof as recorded in Plat Book 8, Page 24, of the Public Records of Pinellas County, Florida.

in an online sale, to the highest and best bidder, for cash, on August 6, 2024 beginning at 10:00 a.m. at www.pinellas. realforeclose.com, in accordance with Chapter 45 Florida Statutes. Any person claiming an interest in the surplus from the sale, if any, other than the property owner as of the date of the lis pendens, must file a claim before the clerk reports the surplus as unclaimed. If you are a person with a disability who needs any accommodation in order to participate in this proceeding, you are entitled, at no cost to you, to the provision of certain assistance. Within two working days of

Harvey Schonbrun,

HARVEY SCHONBRUN, P. A. Post Office Box 20587 Tampa, Florida 33622-0587 813/229-0664 phone June 14, 21, 2024 24-02727N

FLORIDA AND BEING FURTHER DESCRIBED IN THE CERTAIN DECLARATION OF CONDOMINIUM RECORDED IN OFFICIAL RECORDS BOOK 4485, PAGE 1 THROUGH 46, INCLUSIVE, OF THE PUBLIC RECORDS OF PINELLAS COUNTY, FLORIDA; TOGETHER WITH THE EXHIBITS ATTACHED THERETO AND MADE A PART THEREOF. PURPORTED ADDRESS IS: 9201 40TH WAY N. PINELLAS PARK, FL 33782 ANY PERSON CLAIMING AN INTEREST IN THE SURPLUS FROM THE SALE, IF ANY, OTHER THAN THE PROPERTY OWNER AS OF THE DATE OF THE LIS PENDENS MUST FILE A CLAIM WITH THE CLERK BEFORE THE CLERK REPORTS THE SURPLUS AS UNCLAIMED.

If you are a person with a disability who needs any accommodation in order to participate in this proceeding, you are entitled, at no cost to you, to the provision of certain assistance. Please contact the Human Rights Office. 400 S. Ft. Harrison Ave., Ste. 300 Clearwater, FL 33756, (727) 464-4880(V) at least 7 days before your scheduled court appearance, or immediately upon receiving this notification if the time before the scheduled appearance is less than 7 days; if you are hearing impaired call 711. The court does not provide transportation and cannot accommodate for this service. Persons with disabilities needing transportation to court should contact their local public transportation providers for information regarding transportation services.

Dated this 12th day of June 2024.

By: /s/ Ian Norych Ian R. Norych, Esq. Bar Number: 56615

Copies sent to: DELUCA LAW GROUP, PLLC 2101 NE 26th Street FORT LAUDERDALE, FL 333095

PHONE: (954) 368-1311 | FAX: (954) 200-8649

DESIGNATED PRIMARY E-MAIL FOR SERVICE PURSUANT TO FLA. R. JUD. ADMIN 2.516 service@delucalawgroup.com 22-05188 June 14, 21, 2024 24-02778N

SECOND INSERTION NOTICE OF SALE IN THE CIRCUIT COURT OF THE SIXTH JUDICIAL CIRCUIT, IN AND FOR PINELLAS COUNTY, FLORIDA CASE NO.: 16-002885-CI 1900 CAPITAL TRUST II, BY US BANK TRUST NATIONAL ASSOCIATION, NOT IN ITS INDIVIDUAL CAPACITY BUT SOLELY AS CERTIFICATE TRUSTEE, Plaintiff, vs. LENITA A BALLOON A/K/A LENITA BALLOON AS PERSONAL REPRESENTATIVE OF THE ESTATE OF EARNESTINE HARDEN DAVIS, ET AL., Defendants. NOTICE IS GIVEN that, in accordance with the Uniform Final Judgment of Foreclosure entered on May 2, 2024, in the above-styled cause, Ken Burke, Pinellas county clerk of court shall sell to the highest and best bidder for cash on July 2, 2024 at 10:00 A.M., at www.pinellas.realforeclose.com, the following described property: LOTS 12 AND 13, BLOCK 1, BAYOU HEIGHTS, ACCORDING TO THE MAP OR PLAT THEREOF AS RECORDED IN PLAT BOOK 1, PAGE 45, PUBLIC RECORDS OF PINELLAS COUNTY, FLORIDA PROPERTY ADDRESS: 524 50TH AVENUE S, SAINT PETERSBURG, FL 33705 ANY PERSON CLAIMING AN INTEREST IN THE SURPLUS FROM THE SALE, IF ANY, OTHER THAN THE PROPERTY OWNER AS OF THE DATE OF THE LIS PENDENS MUST FILE A CLAIM BEFORE THE CLERK REPORTS THE SURPLUS AS UNCLAIMED AMERICANS WITH DISABILITIES ACT If you are a person with a disability who needs any accommodation in order to participate in this proceeding, you are entitled, at no cost to you to the provision of certain assistance. Within two (2) working days or your receipt of this (describe notice/order) please contact the Human Rights Office, 400 S. Ft. Harrison Ave., Ste. 300, Clearwater, FL 33756, (727) 464-4062 (V/TDD). The court does not provide transportation and cannot accommodate for this service. Persons with disabilities needing transportation to court should contact their

28 JUNE 21 – JUNE 27, 2024 BUSINESS OBSERVER PINELLAS COUNTY
your receipt of this notice, please contact the Human Rights Office, 400 S. Ft. Harrison Avenue, Suite 300, Clearwater, FL 33756 (727) 464-4062
June 10, 2024.
(V/TDD). Dated
Esquire
Church Kelley
Church,
P.A. 255 S. Orange Ave., Ste. 900 Orlando, FL 32801-3454 (855) 287-0240 (407) 872-6012 Facsimile E-mail: servicecopies@qpwblaw.com E-mail: kchurch@qpwblaw.com Attorney for Plaintiff Matter No.: FL-001787-22 June 14, 21, 2024 24-02698N
local public transportation providers for information regarding disabled transportation services. Dated: June 6, 2024 /s/ Kelley L.
L.
Esquire Florida Bar No.: 100194 Quintairos, Prieto, Wood & Boyer,
--- ACTIONS / SALES ---

FOURTH INSERTION NOTICE OF ADMINISTRATIVE COMPLAINT

To: FERGAL J. MEENAN

Case: CD202402281/D 3314121

An Administrative Complaint to suspend your license and eligibility for licensure has been filed against you. You have the right to request a hearing pursuant to Sections 120.569 and 120.57, Florida Statutes, by mailing a request for same to the Florida Department of Agriculture and Consumer Services, Division of Licensing, Post Office Box 5708 Tallahassee, Florida 32314-5708. If a request for hearing is not received by 21 days from the date of the last publication, the right to hearing in this matter will be waived and the Department will dispose of this cause in accordance with law. May 31; June 7, 14, 21, 2024 24-02513N

FOURTH INSERTION

NOTICE OF SHERIFF’S SALE NOTICE IS HEREBY GIVEN That Pursuant to an Execution issued in the County Court of Pinellas County, Florida, on the 16th day of February A.D., 2024 in the cause wherein AMERIS BANK, SUCCESSOR BY MERGER TO FIDELITY BANK, was plaintiff(s), and ROBERT J WOOSTER, an individual, was defendant(s), being Case No. 21-007236-CO in the said Court, I, Bob Gualtieri as Sheriff of Pinellas County, Florida have levied upon all right, title and interest of the above named defendant, ROBERT J WOOSTER in and to the following described property to wit: WHITE 2023 HYUNDAI SONATA

VIN#

KMHL24JA0PA311479 and on the 2nd day of July A.D., 2024 at 1955 Carroll Street, in the city of Clearwater, Pinellas County, Florida, at the hour of 10:00 a.m., or as soon thereafter as possible, I will offer for sale “AS IS” “WHERE IS” all of the said defendant’s right, title and interest in the aforesaid property at public outcry and will sell the same subject to all prior liens, encumbrances and judgments, if any, as provided by law, to the highest and best bidder or bidders for CASH, the proceeds to be applied as far as may be to the payment of costs and the satisfaction of the described Execution.

BOB GUALTIERI, Sheriff Pinellas County, Florida

By Richard Heaton, D.S. Sergeant Court Processing Hiday & Ricke, P.A. PO Box 550858 Jacksonville, FL 32255-0858

May 31; June 7, 14, 21, 2024 24-02535N

FOURTH INSERTION

NOTICE OF SHERIFF’S SALE NOTICE IS HEREBY GIVEN That pursuant to a Writ of Execution issued in the County Court of Sarasota County, Florida, on the 25th day of July A.D., 2023, in the cause wherein, Scott Paint Company, Inc, a Florida corporation, was plaintiff(s) and Premium Building Construction, Inc, a Florida corporation, and Scot R Buley, individually, was defendant(s), being Case No 2009 CC 001544 NC in the said Court, I, Bob Gualtieri, as Sheriff of Pinellas County, Florida, have levied upon all right, title and interest of the above named defendant(s), Scot R Buley a/k/a Scot Robert Buley, and subject to a judgment lien, in and to the following described real property located and situated in Pinellas County, Florida, to-wit: Physical Address: 2638 1st Ave N, St Petersburg, FL 33713 Legal description: Lot 5, Block 20, HALL’S CENTRAL AVENUE SUBDIVISION, according to the map or plat thereof, as recorded in Plat Book 3, Page 39, Public Records of Pinellas County, Florida. Parcel Identification Number: 23-31-16-35082-020-0050 PROPERTY ADDRESS: 2638 1st Ave N, St Petersburg, FL 33713 and on the 1st day of July A.D., 2024, at 14500 49th St. N., Suite 106, in the City of Clearwater, Pinellas County, Florida, at the hour of 11:00 a.m., or as soon thereafter as possible, I will offer for sale all of the said defendant’s, right, title and interest in the aforesaid real property at public outcry and will sell the same, subject to all taxes, prior liens, encumbrances and judgments, if any, as provided by law, to the highest and best bidder or bidders for CASH, the proceeds to be applied as far as may be to the payment of costs and the satisfaction of the described Execution. Bob Gualtieri, Sheriff Pinellas County, Florida By: Richard Heaton, D.S. Sergeant Court Processing Allison L Friedman, P.A. Allison L Friedman, Esq. 20533 Biscayne

NOTICE OF SALE IN THE COUNTY COURT FOR THE SIXTH JUDICIAL CIRCUIT IN AND FOR PINELLAS COUNTY, FLORIDA CIVIL DIVISION Case No.: 24-000289-CO CURLEW MOBILE HOME ESTATES ASSOCIATION, INC., Plaintiff, vs. THE UNKNOWN HEIRS, DEVISESS, GRANTEES, ASSIGNEES, LEINORS, CREDITORS, TRUSTEE OR OTHER CLAIMANTS CLAIMING BY, THROUGH, UNDER OR AGAINST CHARLES L. MARTIN,

DECEASED Defendants.

PINELLAS COUNTY

Notice is hereby given that pursuant to Paragraph 5 of the Final Judgment of Foreclosure entered in the case pending in the County Court of the Sixth Judicial Circuit in and for Pinellas County, Florida, Case No. 24-000289-CO the Clerk of the Court, Pinellas County, shall sell the property situated in said county, described as: Unit No. 90, of Blue Jay Estates, a Condominium, according to the Declaration of Condominium recorded in O.R. Book 4493, Page 508, and all exhibits and amendments thereof, and

THIRD INSERTION

NOTICE OF SHERIFF’S SALE NOTICE IS HEREBY GIVEN That Pursuant to an Execution issued in the County Court of Pinellas County, Florida, on the 19th day of September A.D., 2023 in the cause wherein FINANCIAL PORTFOLIOS, II, AS ASSIGNEE OF CHASE BANK USA, N.A., was plaintiff(s), and STACY L. CHAMPION a/k/a LORRAINE CHAMPION, was defendant(s), being Case No. 07-004383-SC in the said Court, I, Bob Gualtieri as Sheriff of Pinellas County, Florida have levied upon all right, title and interest of the above named defendant, STACY L. CHAMPION a/k/a LORRAINE CHAMPION in and to the following described property to wit:

White 2011 Acura TSX - Sedan 4 door VIN# JH4CU2F64BC015089, TAG # KQIV61

and on the 9th day of July A.D., 2024

at 125 19th Street South, in the city of St Petersburg, Pinellas County, Florida, at the hour of 10:00 a.m., or as soon thereafter as possible, I will offer for sale “AS IS” “WHERE IS” all of the said defendant’s right, title and interest in the aforesaid property at public outcry and will sell the same subject to all prior liens, encumbrances and judgments, if any, as provided by law, to the highest and best bidder or bidders for CASH, the proceeds to be applied as far as may be to the payment of costs and the satisfaction of the described Execution.

BOB GUALTIERI, Sheriff Pinellas County, Florida By Richard Heaton 54787, D.S. Sergeant Court Processing

Marcadis Singer, PA 5104 South Westshore Blvd Tampa, FL 33611 June 7, 14, 21, 28, 2024 24-02639N

THIRD INSERTION

NOTICE OF ACTION IN THE CIRCUIT COURT OF THE SIXTH JUDICIAL CIRCUIT IN AND FOR PINELLAS COUNTY, FL. CIVIL ACTION Case No.24-CA-1330 CI DANIEL NYSTROM Plaintiff, vs. CJB REALTY & PROPERTY MANAGEMENT, LLC c/o Lea Lacey. Defendant. TO: CJB REALTY & PROPERTY MANAGEMENT, LLC ... if alive, and if dead, and all unknown natural persons, if alive, and if dead or not known to be dead or alive, their several and respective unknown spouses, heirs, devisees, grantees, and creditors, or other parties claiming by, through, or under those unknown natural persons; and the several and respective unknown assigns, successors in interest, trustees; and all claimants, persons or parties, natural or corporate, or whose exact legal status is unknown, claiming under any of the above named or described defendants or parties or claiming to have any right, title, or interest in and to the property described as unpaid commission.

YOU ARE NOTIFIED that an action for Negligence, Breach of Contract (in the alternative), and Unjust Enrichment (in the alternative) has been insti-

tuted against you.

YOU ARE REQUIRED to serve a copy of your written defenses, if any, to this action on Leon G. Rendeiro, Attorney, whose address is 1714 Cape Coral Parkway East, Cape Coral, Florida 33904 on or before 30 Days after 1st Publication and file the original with the Clerk of this Court either before service on Plaintiff’s attorney or immediately thereafter; otherwise a default will be entered against you for the relief demanded in the Complaint.

“If you are a person with a disability who needs any accommodation in order to participate in this proceeding, you are entitled, at no cost to you, to the provision of certain assistance. Please contact the Human Rights Office, 400 S. Ft. Harrison Ave., Ste. 300, Clearwater, FL 33756, (727) 464-4062 (V/TDD) at least 7 days before your scheduled court appearance, or immediately upon receiving this notification if the time before the scheduled appearance is less than 7 days; if you are hearing or voice impaired, call 711.”

Date: 5/31/2024

Ken Burke As Clerk of Court

By: /s/ Thomas Smith Deputy Clerk June 7, 14, 21, 28, 2024 24-02651N

FOURTH INSERTION

NOTICE OF ACTION FOR QUIET TITLE AND ADVERSE POSSESSION IN THE CIRCUIT COURT OF THE SIXTH JUDICIAL CIRCUIT, IN AND FOR PINELLAS COUNTY, FLORIDA Case No.: 23-7213-CI DAVID RANGER , Petitioner, and. ESTATE OF ENID LEVY; KNOWN & UNKNOWN HEIRS OF ENID LEVY; & KNOWN & UNKNOWN SPOUSES OF THE HEIRS OF ESTATE OF ENID LEVY, Respondent.

TO: ESTATE OF ENID LEVY, KNOWN AND UNKNOWN HEIRS OF ENID LEVY, AND KNOWN AND UNKNOWN SPOUSES OF THE HEIRS OF ESTATE OF ENID LEVY {Respondent’s last known address} 1600 Scranton Street South, St. Petersburg, Pinellas County, Florida 33701. YOU ARE NOTIFIED that an action for {identify the type of case}

QUIET TITLE & ADVERSE POSSESSION has been filed against you and that you are required to serve a copy of your written defenses, if any, to it on {name of Petitioner} Karmika V. Rubin, Esq., The Law Offices of K. V. Rubin, PA, whose address is 111 Second Ave. NE, Suite 330, St. Petersburg, FL 33701, on or before {date} 30 Days After First publication, and file the original with the clerk of this Court at {clerk’s address} St. Petersburg Judicial Building, 545 1st Ave. North, St. Petersburg, Florida 33701, before service on Petitioner or immediately thereafter. If you fail to do so, a default may be entered against you for the relief demanded in the petition. {If applicable, insert the legal description of real property, a specific description of personal property, and the name of the county in Florida where the property is located} Lot 33, PALMWAY SUBDIVISION, as recorded Plat Book 6, Page 94, Public Records of Pinellas

SECOND INSERTION

recorded in Condominium Plat Book 23, Page 78, Public Records of Pinellas County, Florida, Parcel Identification: 17-28-1609419-000-0900

Property Address: 2755 Curlew Road, Lot 90, Palm Harbor, Florida 34684 at public sale, to the highest and best bidder for cash at 10:00 a.m. on July 18, 2024. The sale shall be conducted online at http://www.pinellas. realforeclose.com. Any person claiming an interest in the surplus proceeds from the sale, if any, other than the property owner as of the date of the notice, must file a claim within 60 days after the sale.

FOURTH INSERTION NOTICE OF SHERIFF’S SALE NOTICE IS HEREBY GIVEN That Pursuant to an Execution issued in the County Court of Pinellas County, Florida, on the 16th day of February A.D., 2024 in the cause wherein AMERIS BANK, SUCCESSOR BY MERGER TO FIDELITY BANK, was plaintiff(s), and ROBERT J WOOSTER, an individual, was defendant(s), being Case No. 21-007236-CO in the said Court, I, Bob Gualtieri as Sheriff of Pinellas County, Florida have levied upon all right, title and interest of the

If you are a person with a disability who needs an accommodation in order to participate in this proceeding, you are entitled, at no cost to you, to the provision of certain assistance. Please contact the Human Rights Office, 400 South Fort Harrison Avenue, Suite 500, Clearwater, Florida 33756, (727)4644062 V/TDD or 711 for the hearing impaired. Contact should be initiated at least seven days before the scheduled court appearance, or immediately upon receiving this notification if the time before the scheduled appearance is less

above named defendant, ROBERT J WOOSTER in and to the following described property to wit: WHITE 2023 HYUNDAI SONATA VIN# KMHL24JA0PA311479 and on the 2nd day of July A.D., 2024 at 1955 Carroll Street, in the city of Clearwater, Pinellas County, Florida, at the hour of 10:00 a.m., or as soon thereafter as possible, I will offer for sale “AS IS” “WHERE IS” all of the said defendant’s right, title and interest

County, Florida.

Copies of all court documents in this case, including orders, are available at the Clerk of the Circuit Court’s office. You may review these documents upon request.

You must keep the Clerk of the Circuit Court’s office notified of your current address. (You may file Designation of Current Mailing and E-Mail Address, Florida Supreme Court Approved Family Law Form 12.915.) Future papers in this lawsuit will be mailed or e-mailed to the addresses on record at the clerk’s office.

WARNING: Rule 12.285, Florida Family Law Rules of Procedure, requires certain automatic disclosure of documents and information. Failure to comply can result in sanctions, including dismissal or striking of pleadings.

“If you are a person with a disability who needs any accommodation in order to participate in this proceeding, you are entitled, at no cost to you, to the provision of certain assistance. Please contact the Human Rights Office, 400 S. Ft. Harrison Ave., Ste. 300, Clearwater, FL 33756, (727) 464-4062 (V/TDD) at least 7 days before your scheduled court appearance, or immediately upon receiving this notification if the time before the scheduled appearance is less than 7 days; if you are hearing or voice impaired, call 711.”

Dated: 3/8/2024.

KEN BURKE Clerk of the Circuit Court and Comptroller 315 Court Street Clearwater, Pinellas County, FL 33756-5165

CLERK OF THE CIRCUIT COURT By: Thomas Smith {Deputy Clerk}

29 JUNE 21 – JUNE 27, 2024 BusinessObserverFL.com
than seven days.
this 7th day of June, 2024.
PARKER GURLEY, P.A. 2653 McCormick Drive Clearwater, Florida 33759 Telephone: (727)475-5535 Facsimile: (727)723-1131 For Electronic Service: Pleadings@rpglaw.com Counsel for Plaintiff By: /s/ Nicholaos T. Pizanias Monique E. Parker, Florida Bar No. 0669210 Bennett L. Rabin, Florida Bar No. 0394580 Adam C. Gurley, Florida Bar No. 0112519 Nicholaos T. Pizanias, Florida Bar No.: 118857 June 14, 21, 2024 24-02713N --- ACTIONS / SALES ---
Dated
RABIN
Blvd 4-435 Aventura, FL 33180 May 31; June 7, 14, 21, 2024 24-02517N
property
public outcry
same subject to all prior liens, encumbrances and judgments, if any, as provided by law, to the highest and best bidder or bidders for CASH, the proceeds to be applied as far as may be to the payment of costs and the satisfaction of the described Execution. BOB GUALTIERI, Sheriff Pinellas County, Florida By Richard Heaton, D.S. Sergeant Court Processing Hiday & Ricke, P.A. PO Box 550858 Jacksonville, FL 32255-0858 May 31; June 7, 14, 21, 2024 24-02535N
in the aforesaid
at
and will sell the
(SEAL) CIRCUIT COURT PINELLAS COUNTY, FLORIDA May 31; June 7, 14, 21, 2024 24-02518N LV20878_V22 Call 941-906-9386 or email legal@businessobserverfl.com • We offer an online payment portal for easy credit card payment • Service includes us e-filing your affidavit to the Clerk’s office on your behalf We publish all Public sale, Estate & Court-related notices LEGAL NOTICE PUBLISH YOUR and select the appropriate County name from the menu option

Why Public Notice Should Remain in Newspapers

Along with open meeting and freedom of information laws, public notice is an essential element of the three-legged stool of government transparency

This is not about “newspapers vs the internet”. It’s newspapers and newspaper websites vs government websites and newspaper websites have a much larger audience. Moving notice from newspapers to government websites would reduce the presence of public notices on the internet

Since the first U.S. Congress, public officials have understood that newspapers are the best medium to notify the public about official matters because they contain the essential elements of public notice:

Accessibility

Independence

Verifiability

Archivability vs

Requiring independent, third-party newspapers to ensure that public notices run in accordance with the law helps prevent government officials from hiding information they would prefer the public not to see

Types Of Public Notices

Citizen Participation Notices

Government Meetings and Hearings

Meeting Minutes or Summaries

Agency Proposals

Proposed Budgets and Tax Rates

Land and Water Use

Creation of Special Tax Districts

School District Reports

Zoning, Annexation and Land Use Changes

Publishing notices on the internet is neither cheap nor free

Newspapers remain the primary vehicle for public notice in all 50 states

Commercial NoticesCourt Notices

Unclaimed Property, Banks or Governments

Delinquent Tax Lists, Tax Deed Sales

Government Property Sales

Permit and License Applications

Mortgage Foreclosures

Name Changes

Probate Rulings

Divorces and Adoptions

Orders to Appear in Court

Stay Informed, It’s Your Right to Know.

For legal notice listings go to: Legals.BusinessObserverFL.com

To publish your legal notice call: 941-906-9386 or Legal@BusinessObserverFL.com

31 JUNE 21 – JUNE 27, 2024 BusinessObserverFL.com PINELLAS COUNTY
Open Meetings
XNLV18187
Public Notice FOIA

An American Tradition

Public notice is an important tool in assuring an informed citizenry. Notices are mandated by legislatures to make sure there is a public window into the activities of governments, officers of the court and others holding a public trust. There are four key elements to a valid public notice. It should be executed by an entity outside the one mandated to provide notice, so proper checks and balances are in place.

A public notice informs citizens of government or government-related activities that affect citizens’ everyday lives. A public notice typically has four elements:

Types of Public Notices

There are three standard types:

• Citizen participation notices inform the public about proposed government action and allow the public time to react to such proposals.

One such example is a public hearing notice.

• Independent: A public notice is published in a forum independent of the government, typically in a local newspaper.

• Archivable: A public notice is archived in a secure and publicly available format.

• Accessible: A public notice is capable of being accessed by all segments of society.

• Verifiable: The public and the source f the notice are able to verify that the notice was published, usually by an affidavit provided by the publisher.

(Adapted from the Public Resource Notice Center)

• Business and commerce notices relate to government contracts and purchases. Notices of contract bids allow citizens to ensure that the government is operating in accordance with principles of equal opportunity and is acting responsibly in spending taxpayer money.

The history of public notices

Public notices existed long before the emergence of newspapers. The concept itself began when early civilizations posted notices in public squares. This crude method was eventually refined with the publication of the first English language newspaper in 1665 — a court newspaper called the Oxford Gazette. After being renamed The London Gazette, this official newspaper carried notices from the King’s Court, London

Public notice supports due process

Public notices are integral to democratic governance and stem from the right to “due process of law” guaranteed by the federal and state constitutions. Due process of law protects Americans’ rights from arbitrary or wrongful violations. This concept has two parts: substantive due process and procedural due process.

Substantive due process refers to the

• Court notices are required of many non-governmental entities that

officials and outlying regions.

The American system is modeled after the British system. State governments published public notices before America’s founding, and the newly-created federal government followed suit. In 1789, the Acts of the First Congress required the Secretary of State to publish all bills, orders, resolutions and congressional votes in at least three publicly available newspapers.

An important premise both in federal

types of rights that are protected. Procedural due process refers to the means of protecting those rights.

Substantive due process ensures that certain basic rights are not violated, while procedural due process may require suitable notice and a hearing before a government or court-appointed body can act in a way that may affect those basic rights.

Public notices play a vital role in

Why NeWspapers?

Newspapers are the primary source

Newspapers, founded on the constitutional right of free press, have been serving the public’s right to know in America since precolonial times and on the European continent since the 17th century. Because of their traditional information role in society and their long-established independence, newspapers remain the primary source for publishing public notices.

Upholding the public’s right to know is essential to our country’s way of life. Our government governs with the consent of the people, and this consent must be informed. Local newspapers keep the public informed about the inner workings of their respective state and local governments, thereby allowing citizens to participate more fully in the democratic process. Without this participation, the potential for misguided policies increases.

Newspaper tradition

Newspapers allow the government to notify the public of government actions. The government has a fundamental responsibility to ensure adequate notification to the public of its actions. Therefore, the government has a duty to make sure the methods used in satisfying this responsibility are the most effective.

Newspapers provide neutrality from government and credible distance from political pressures or partisan disagreements. Local and community newspapers serve as third-party reporters to the public, publishing information that can be beneficial or sometimes detrimental to the government’s public image. They provide an environment for notices that the

public traditionally has regarded as neutral. Public notices in this print environment gain credibility because of the long history of trust in the local newspaper.

Placing notices on government Web sites undermines this neutral interest and removes a critical check and balance. While it may seem appealing on the surface in an age of ever-more sophisticated government Web sites, the potential for mishandling is great.

On the other hand, public notices in independent newspapers increase government transparency by opening up the decisionmaking process to the public’s eyes. Without this oversight, local governments could enact controversial policies without input from the public.

Newspapers serve as effective monitors of governments and ensure that they publish information as required by law. Public notices are typically required by a statute or a regulation. The independent press can provide a valuable civic role by helping to monitor that the notices were published when required. If governments were responsible for publishing their own notices, no neutral and independent entity would have the incentive and the means to track public-notice publication.

Newspapers: The best medium for public notices

Newspapers, for the most of the republic’s history, have been the accepted medium for public notices. This is exactly where the public, even infrequent readers, expects to find them. In addition, specialized publications, such as legal newspapers, are well known for

use public powers or institutions in some way. Examples include notices of home mortgage foreclosures, which can provide a public alert of widespread credit problems, fraud in underwriting and a basis for analyses of housing trends.

This notice allows the public to object to an appointment based on any conflict of interest.

and local governments of the United States, as well as in many republics around the world, is that information about government activities must be accessible for the electorate to make well-informed decisions.

Public notices in newspapers still provide this accessibility to citizens who want to know more about government activities. Public notice laws serve to outline the most effective method of reaching the public.

substantive and procedural due process because they provide a window into government actions and also afford notice to citizens of actions about to take place so they may exercise their constitutional right to be heard. Notification not only informs the individual or entity most directly affected, but it also informs the public, which has an interest in knowing how public powers are being used.

providing public notices to the population through legal communities. Other general interest newspapers, such as county seat weeklies, are the forum where county citizens expect to locate notices of important public business. Furthermore, the vast majority of these notices arrive at citizens’ homes in a context that compels readership (amid local news, sports features and other content).

Another reason for the effectiveness of newspapers is that newspapers provide valid evidence of readership. Legislatures are rightly concerned about web-only notices, given the digital divide between rich and poor, rural and urban residents. The Internet is either too costly or simply geographically unavailable to large segments of society.

Notices

become historical records

ThE RISKS OF NOTICES ONLY ON ThE

INTERNET

although it has been part of american society for a quarter-century as a network for scholars and government agencies, the Internet has been widely used by citizens for about 15 years.

Because of its structure with computer clients and servers, information packets and open-network codes, the Internet remains vulnerable and sometimes unstable. power surges, corrupted software and downed servers can disrupt access. Government agencies cannot ensure that information located on a server is secure.

even a highly technological site like that of the pentagon’s has been affected. In June 2007, the pentagon was forced to take about 1,500 computers off-line because of a cyberattack. Then-Defense Department secretary robert Gates stated that the pentagon sees hundreds of attacks every day.

public notices guard our constitutional right to due process of law by informing citizens of government action and providing proof of publication via notarized affidavits of publication. Unlike the time-tested and trusted local newspapers that citizens have come to rely on for public notices, the Internet is an unstable medium for information. While it is valuable tool in disseminating information, it has not yet reached a level of sophistication and technological stability that would justify its supplanting newspapers as the primary venue for public notices.

It is still uncertain how a “Net” affidavit could show proof of a public notice publication when constant technological change makes any attempt at archiving and accessing such a document online for any significant time dubious.

No less problematic for the Internet is its reach. Those who live in rural areas where broadband does not exist and others who simply cannot afford the Internet cannot access web public notices. In situations where foreclosures are on the rise due, in part, to predatory mortgage lending, more, not less, access to public notices is needed to better inform citizens about their rights and their choices.

It is difficult to justify, then, moving public notices from newspapers only to publicnotice Web sites administered either by already over-burdened state governments or by third-party vendors who lack the experience and long-term viability newspapers have proven in publishing notices. so far in the Internet age, newspapers remain the most trusted and primary method for providing citizens access to public notices.

move notices of federal asset forfeitures out of newspapers and onto a Web site administered by the Department of Justice. Yet, the courts have little research to show that the Justice Department’s Web site will produce viable, accessible, archivable notices. While Internet web pages pose serious archiving challenges, newspapers, on the other hand, become historical documents. They are oriented and published with a date on every page. They cannot be deceptively altered after printing as a web page could. Historians, judges, lawyers, genealogists and researchers, to name only a few, use newspapers and public notices in particular as sources for records.

The newspaper as paper of record is an important factor in the public policy of notices. Government Web sites cannot provide a secure archival history the way newspapers can. Electronic records lack permanence and can easily be intentionally or accidentally erased. Even the Library of Congress has recognized this shortcoming and has embarked upon a major project to attempt to archive digital records that are in danger of being “forever lost” due to Internet impermanence.

Despite these problems, the federal courts unwisely approved a rule change to the Federal Rules of Civil Procedure recently that would

Newspaper notices protect due process

Procedural due process, as granted by the U.S. Constitution and interpreted by courts, generally requires an individual to receive notice and a hearing before he or she is deprived of certain rights or property. For example, before a person’s home is sold by a county sheriff at a foreclosure sale, he or she must receive notice of the foreclosure sale and an opportunity to save the house from foreclosure. If the owner does not receive the notice, he may challenge the sale in court. The court may then void the sale or prevent the sale from happening to protect due process.

Newspapers are generally paid to run public notices, which recognizes that their publication creates a cost in paper, ink and delivery.

32 JUNE 21 – JUNE 27, 2024 BUSINESS OBSERVER PINELLAS COUNTY
PUBLIC NOTICES
Back in Business Gary Aubuchon's political loss may be his companies' gain. PG. 10 Follow the Market targets its northern territory with Growth Management Competition is heating up the 1,800 acres in Naples DON’T MISS 23 ACG members gather to tackle succession topics. For the first time in years, residential projects break ground in downtowns from Tampa to Naples. PAGE 14 downtown BACK is

Public Notices

HILLSBOROUGH COUNTY LEGAL NOTICES

NOTICE UNDER FICTITIOUS NAME LAW PURSUANT TO SECTION 865.09, FLORIDA STATUTES

NOTICE IS HEREBY GIVEN that the undersigned, desiring to engage in business under the fictitious name of SHARPER FITNESS located at 8815 Bertha Palmer Blvd, in the County of Hillsborough, in the City of Tampa, Florida 33617 intends to register the said name with the Division of Corporations of the Florida Department of State, Tallahassee, Florida.

Dated at Tampa, Florida, this 12th day of June, 2024. Derrick Sharper June 21, 2024 24-01857H

NOTICE UNDER FICTITIOUS NAME LAW PURSUANT TO SECTION 865.09, FLORIDA STATUTES

NOTICE IS HEREBY GIVEN that the undersigned, desiring to engage in business under the fictitious name of Olive And Grace Leadership Coaching located at 1306 W Grace St, in the County of Hillsborough, in the City of Tampa, Florida 33607 intends to register the said name with the Division of Corporations of the Florida Department of State, Tallahassee, Florida.

Dated at Tampa, Florida, this 12th day of June, 2024. Flosshilda LaBrado June 21, 2024 24-01858H

NOTICE UNDER FICTITIOUS NAME LAW PURSUANT TO SECTION 865.09, FLORIDA STATUTES

NOTICE IS HEREBY GIVEN that the undersigned, desiring to engage in business under the fictitious name of Crave Credit located at 208 oakfield dr #391, in the County of Hillsborough, in the City of Brandon, Florida 33511 intends to register the said name with the Division of Corporations of the Florida Department of State, Tallahassee, Florida.

Dated at Brandon, Florida, this 12th day of June, 2024.

MONEY IS CAKE SERVICES, LLC

June 21, 2024 24-01859H

NOTICE UNDER FICTITIOUS NAME LAW

NOTICE IS HEREBY GIVEN that the below named owner, desiring to engage in business under the fictitious name of: STATEWIDE MATERIALS located at 9038 Camden Field Parkway in the City of Riverview, Florida, doing business in Hillsborough County, Florida intends to register the said fictitious name with the Division of Corporations of the Florida Department of State, Tallahassee, Florida, pursuant to Chapter 865.09, Florida Statutes, Fictitious name registration.

Dated this 12th day of June, 2024. Owner’s Name:

MILESTONE SUPPLY, LLC June 21, 2024 24-01860H

NOTICE UNDER FICTITIOUS NAME LAW PURSUANT TO SECTION 865.09, FLORIDA STATUTES

NOTICE IS HEREBY GIVEN that the undersigned, desiring to engage in business under the fictitious name of EPIC MOONBEAM : Located at 7190 W Sunset Blvd PMB 71C : Hillsborough County in the City of Los Angeles : Florida, 90046-4415 intends to register the said name with the Division of Corporations of the Florida Department of State, Tallahassee, Florida. Dated at Los Angeles Florida, this June day of 17, 2024 VOLITION ENTERTAINMENT LLC June 21, 2024 24-01900H

NOTICE UNDER FICTITIOUS NAME LAW PURSUANT TO SECTION 865.09, FLORIDA STATUTES

NOTICE IS HEREBY GIVEN that the undersigned, desiring to engage in business under the fictitious name of Aj’s Auto Worx located at 15420 Livingston Ave 1303, in the County of Hillsborough, in the City of Lutz, Florida 33559 intends to register the said name with the Division of Corporations of the Florida Department of State, Tallahassee, Florida. Dated at Lutz, Florida, this 17th day of June, 2024. Anthony Salerno June 21, 2024 24-01902H

NOTICE UNDER FICTITIOUS NAME LAW PURSUANT TO SECTION 865.09, FLORIDA STATUTES

NOTICE IS HEREBY GIVEN that the undersigned, desiring to engage in business under the fictitious name of TPA Trailer Rentals located at 1403 E Linebaugh Ave, in the County of Hillsborough, in the City of Tampa, Florida 33612 intends to register the said name with the Division of Corporations of the Florida Department of State, Tallahassee, Florida. Dated at Tampa, Florida, this 13th day of June, 2024.

ROSENTHAL INDUSTRIES LLC June 21, 2024 24-01862H

NOTICE UNDER FICTITIOUS NAME LAW

NOTICE IS HEREBY GIVEN that the undersigned, desiring to engage in business under the fictitious name of: FEDERAL CONTRACTS COMPANY Located at 12918 NEBRASKA AVENUE In the City of TAMPA, FL HILLSBOROUGH County 33612 Intends to register the said name with the Division of Corporations of the Department of State, Tallahassee, Florida. Dated this 11TH day of JUNE, 2024. FEDERAL CONTRACTS LLC (Owner Name) June 21, 2024 24-01873H

NOTICE UNDER FICTITIOUS NAME LAW

NOTICE IS HEREBY GIVEN that the undersigned, desiring to engage in business under the fictitious name of: FCC Located at 12918 NEBRASKA AVENUE In the City of TAMPA, FL HILLSBOROUGH County 33612 Intends to register the said name with the Division of Corporations of the Department of State, Tallahassee, Florida. Dated this 11TH day of JUNE, 2024. FEDERAL CONTRACTS LLC (Owner name) June 21, 2024 24-01874H

NOTICE UNDER FICTITIOUS NAME LAW PURSUANT TO SECTION 865.09, FLORIDA STATUTES

NOTICE IS HEREBY GIVEN that the undersigned, desiring to engage in business under the fictitious name of AskUsMarketing located at 11206 Bloomington Dr, in the County of Hillsborough, in the City of Tampa, Florida 33635 intends to register the said name with the Division of Corporations of the Florida Department of State, Tallahassee, Florida. Dated at Tampa, Florida, this 14th day of June, 2024. ACEADVERTISEMENTS LLC June 21, 2024 24-01884H

NOTICE UNDER FICTITIOUS NAME LAW PURSUANT TO SECTION 865.09, FLORIDA STATUTES

NOTICE IS HEREBY GIVEN that the undersigned, desiring to engage in business under the fictitious name of BIG BRUSH POOL SERVICE : Located at 2601 Tulip Tree Cir : Hillsborough County in the City of Seffner : Florida, 33584-5875 intends to register the said name with the Division of Corporations of the Florida Department of State, Tallahassee, Florida. Dated at Seffner Florida, this June day of 17, 2024

BURKETT ADAM B June 21, 2024 24-01899H

NOTICE UNDER FICTITIOUS NAME LAW PURSUANT TO SECTION 865.09, FLORIDA STATUTES

NOTICE IS HEREBY GIVEN that Antwan Novell Watson will engage in business under the fictitious name KTW Logistics, with a physical address 3917 West Spruce St. Tampa, FL 33607, with a mailing address 3917 West Spruce St. Tampa, FL 33607, and already registered the name mentioned above with the Florida Department of State, Division of Corporations. June 21, 2024 24-01861H

FICTITIOUS NAME NOTICE

Notice is hereby given that Ybor Hospitalities, LLC, as owner, desires to engage in business under the fictitious name of “Zodiac” located in Hillsborough County, Florida, and intends to register the said name with the Division of Corporations, Florida Department of State, pursuant to section 865.09 of the Florida Statutes. June 21, 2024 24-01885H

NOTICE UNDER FICTITIOUS NAME LAW ACCORDING TO FLORIDA STATUTE NUMBER 865.09

NOTICE IS HEREBY GIVEN that Tampa Property Group, LLC will engage in business under the Fictitious Name of TPG Residential at 4200 N Armenia Ave Unit #1, Tampa FL 33607, Hillsborough County, and has registered this name with the Division of Corporations of the Department of State, Tallahassee, Florida. Dated this 17th day of June, 2024. Signed, Christian Santiago, Director, Tampa Property Group LLC. June 21, 2024 24-01901H

FIRST INSERTION

NOTICE OF APPLICATION FOR TAX DEED

The holder of the following tax certificates has filed the certificates for a tax deed to be issued. The certificate numbers and years of issuance, the description of the property, and the names in which it was assessed are: Folio No.: 0722100712 File No.: 2024-541

Certificate No.: 2021 / 6354

Year of Issuance: 2021

Description of Property: CROSSWYNDE CONDOMINI-

UM UNIT 201 BLDG 13 AND AN UNDIV INT IN COMMON ELEMENTS

SEC - TWP - RGE: 30 - 29 - 20

Name(s) in which assessed: XIA MING XU

All of said property being in the County of Hillsborough, State of Florida. Unless such certificate shall be redeemed according to law, the property described in such certificate will be sold to the highest bidder on (8/1/2024) on line via the internet at www.hillsborough.realtaxdeed.com.

If you are a person with a disability who needs any accommodation in order to participate in this proceeding, you are entitled, at no cost to you, to the provision of certain assistance. Please contact the Clerk’s ADA Coordinator, 601 E Kennedy Blvd., Tampa Florida, (813) 276-8100 extension 4205, two working days prior to the date the service is needed; if you are hearing or voice impaired, call 711.

Dated 6/13/2024

Cindy Stuart Clerk of the Circuit Court Hillsborough County Florida BY Adrian Salas, Deputy Clerk June 21, 28; July 5, 12, 2024 24-01889H

NOTICE OF PUBLIC SALE:

Tampa Bay Auto Experts, INC gives Notice of Foreclosure of Lien and intent to sell these vehicles on 07/22/2024 08:30 AM at 5715 W LINEBAUGH AVE , TAMPA, FL 33624 pursuant to subsection 713.78 of the Florida Statutes. Tampa Bay Auto Experts, INC reserves the right to accept or reject any and/or all bids.

4T1BF1FK9FU094155 2015 TOYT CAMRY LE/XLE/SE/XSE JTEBT17R060060486 2006 TOYT 4RUNNER LTD 2HGFB2F5XFH552999 2015 HOND CIVIC June 21, 2024 24-01920H

NOTICE

NOTICE OF AGENCY ACTION BY THE SOUTHWEST FLORIDA WATER MANAGEMENT DISTRICT

Notice is given that the District has granted an exemption pursuant to Chapter 62-330.051(12)(b), F.A.C. for activities known as 5411 W Tyson Ave Seawall Replacement. The project is located in Hillsborough County, Section(s) S7, Township T30S South, Range R18E East. The application for verification of an exemption was received from SE Tampa Bay, LLC whose address is 2743 Perimeter Pkwy Bldg 100 Suite 370, Augusta, GA 30909. The Exemption No. is 892185.

The file(s) pertaining to the project referred to above is available for inspection Monday through Friday except for legal holidays, 8:00 a.m. to 5:00 p.m., at the Southwest Florida Water Management District, 7601 US Hwy 301, Tampa, FL 33637-6759.

NOTICE OF RIGHTS

Any person whose substantial interests are affected by the District’s action regarding this matter may request an administrative hearing in accordance with Sections 120.569 and 120.57, Florida Statutes (F.S.), and Chapter 28-106, Florida Administrative Code (F.A.C.), of the Uniform Rules of Procedure. A request for hearing must (1) explain how the substantial interests of each person requesting the hearing will be affected by the District’s action, or proposed action; (2) state all material facts disputed by each person requesting the hearing or state that there are no disputed facts; and (3) otherwise comply with Chapter 28-106, F.A.C. A request for hearing must be filed with and received by the Agency Clerk of the District at the District’s Tampa address, 7601 US Hwy. 301, Tampa, FL 33637-6759 within 21 days of publication of this notice. Failure to file a request for hearing within this time period shall constitute a waiver of any right such person may have to request a hearing under Sections 120.569 and 120.57, F.S.

Because the administrative hearing process is designed to formulate final agency action, the filing of a petition means that the District’s final action may be different from the position taken by it in this notice of agency action. Persons whose substantial interests will be affected by any such final decision of the District in this matter have the right to petition to become a party to the proceeding, in accordance with the requirements set forth above.

Mediation pursuant to Section 120.573, F.S., to settle an administrative dispute regarding the District’s action in this matter is not available prior to the filing of a request for hearing.

24-01890H

June 21, 2024

BALLENTRAE HILLSBOROUGH

COMMUNITY DEVELOPMENT DISTRICT REQUEST FOR PROPOSALS FOR ANNUAL AUDIT SERVICES

The Ballentrae Community Development District hereby requests proposals for annual financial auditing services. The proposal must provide for the auditing of the District’s financial records for the fiscal year ending September 30, 2024, with an option for four additional annual renewals. The District is a local unit of specialpurpose government created under Chapter 190, Florida Statutes, for the purpose of financing, constructing, and maintaining public infrastructure. The District is located in Hillsborough County, Florida, and has a general fund and debt service fund.

Each auditing entity submitting a proposal must be authorized to do business in Florida, hold all applicable state and federal professional licenses in good standing, duly licensed under Chapter 473, Florida Statutes, and be qualified to conduct audits in accordance with “Government Auditing Standards,” as adopted by the Florida Board of Accountancy. Audits shall be conducted in accordance with Florida Law and particularly Section 218.39, Florida Statutes, and the rules of the Florida Auditor General.

Proposal packages, which include evaluation criteria and instructions to proposers, are available from the District Recording Secretary at 4530 Eagle Falls Place, Tampa, FL 33619, via e-mail at nviverito@gms-tampa.com, and by telephone at (813) 344-4844.

Proposers must provide an electronic copy of their proposal to the District Recording Secretary Nicole Viverito at nviverito@gms-tampa.com. Proposals must be received by 5:00 p.m. on Wednesday, June 26, 2024. Proposals received after this time will not be eligible for consideration. The District reserves the right to reject any and all proposals, make modifications to the scope of the work, and waive any minor informalities or irregularities in proposals as it deems appropriate. Please direct all questions regarding this Notice to the District Manager.

Ballentrae Hillsborough Community Development District Jason Greenwood, District Manager June 21, 2024 24-01891H

NOTICE OF MEETINGS

BALLENTRAE HILLSBOROUGH COMMUNITY DEVELOPMENT DISTRICT AUDIT COMMITTEE MEETING AND REGULAR BOARD OF SUPERVISORS MEETING

The Ballentrae Hillsborough Community Development District Audit Committee will meet on Monday, July 1, 2024 at 6:00 p.m. at the Ballentrae Clubhouse, 11864 Thicket Wood Dr., Riverview FL 33579. Immediately following the adjournment of the audit committee meeting will be a regular Board of Supervisors meeting of the Ballentrae Hillsborough Community Development District.

The meetings are open to the public and will be conducted in accordance with the provisions of Florida Law for Community Development Districts. A copy of the agendas for these meetings may be obtained from the District Manager, 4530 Eagle Falls Place, Tampa, FL 33619 or call (813) 344-4844. The meetings may be continued to a date, time and place to be specified on the record at the meetings.

There may be occasions when one or more Supervisors will participate by telephone. At the above location will be present a speaker telephone so that any Board Supervisor can attend the meeting at the above location and be fully informed of the discussions taking place either in person or by telephone communication.

Any person requiring special accommodations at this meeting because of a disability or physical impairment should contact the District Office at (813) 3444844 at least five calendar days prior to the meeting. If you are hearing or speech impaired, please contact the Florida Relay Service at 1-800-955-8770 for aid in contacting the District Office.

Each person who decides to appeal any action taken at these meetings is advised that person will need a record of the proceedings and that accordingly, the person may need to ensure that a verbatim record of the proceedings is made, including the testimony and evidence upon which such appeal is to be based.

Jason Greenwood District Manager June 21, 2024

24-01892H

NOTICE UNDER FICTITIOUS NAME LAW ACCORDING TO FLORIDA STATUTE NUMBER 865.09

NOTICE IS HEREBY GIVEN that the undersigned, desiring to engage in business under the Fictitious Name of SJOBERG CPA located at 5924 Cherry Oak Dr in the City of Valrico, Hillsborough County, FL 33596 intends to register the said name with the Division of Corporations of the Department of State, Tallahassee, Florida. Dated this 17th day of June, 2024. Flamingo and Flamingo LLC June 21, 2024 24-01919H

NOTICE

Notice is hereby given that the Southwest Florida Water Management District has received Environmental Resource permit application number 896746 from Abacus Storage Riverview, LLC, North of Big Bend in Tampa, FL. Application received June 14th, 2024. Proposed activity: Construction of a 140,000 SF mini warehouse on an 11-acre property. Project name: Abacus Storage Big Bend. Project size: 11 Acres. Location: Section(s) 11 Township 31, Range 19, in Hillsborough County. Outstanding Florida Water: No. Aquatic preserve: No]. The application is available for public inspection Monday through Friday at Tampa Service Office, 7601 Highway 301 North, Tampa, FL 33637-6759. Interested persons may inspect a copy of the application and submit written comments concerning the application. Comments must include the permit application number and be received within 14 days from the date of this notice. If you wish to be notified of intended agency action or an opportunity to request an administrative hearing regarding the application, you must send a written request referencing the permit application number to the Southwest Florida Water Management District, Regulatory Support Bureau, 2379 Broad Street, Brooksville, FL 34604-6899 or submit your request through the District’s website at www. watermatters.org. The District does not discriminate based on disability. Anyone requiring accommodation under the ADA should contact the Regulation Performance Management Department at (352)796-7211 or 1(800)423-1476, TDD only 1(800)231-6103. June 21, 2024 24-01903H

Dale Mabry Highway Tampa, FL 33607 (Entrance B/C off Himes Avenue)

Contact djones@tampasportsauthority.com for Additional Information, if interested in attending.

June 21, 2024 24-01909H

NOTICE IS HEREBY GIVEN that the undersigned, desiring to engage in business under the fictitious name of R7 Renovations located at 2504 Buckhorn Run Dr, in the County of Hillsborough, in the City of Valrico, Florida (Zip Code) intends to register the said name with the Division of Corporations of the Florida Department of State, Tallahassee, Florida. Dated at Valrico, Florida, this 18th day of June, 2024. ROMAN RESTORATION REMODELING AND REPAIR LLC June 21, 2024 24-01924H

charlotteclerk.com

COUNTY leeclerk.org

COUNTY collierclerk.com

COUNTY hillsclerk.com PASCO COUNTY pascoclerk.com

The City of Plant City Engineering Department hereby gives notice of the City of Plant City’s intent to revise the flood hazard information, generally located between 2400 Police Center Dr and Jim Johnson Road. The flood hazard revisions are being proposed as part of a Letter of Map Revision (LOMR) Case No. 23-04-5362P for a project along Howell Branch. Charleston Enterprises, LLC modified a control structure as part of a warehouse development. The following flood hazards along Howell Branch will be modified, Pond B and Ponding Area 1. 1. Base Flood Elevations will be established for Pond B and Ponding Area 1. 2. The SFHA will decrease along Howell Branch, increase for Ponding Area 1 and stay the same for Pond B. Maps and detailed analysis of the revision can be reviewed at the City of Plant City at 302 W Reynolds St, Plant City, FL 33563. Interested persons may call Rob Wassum at 813-659-4200 for additional information from Monday to Friday from 8:00 AM to 5:00 PM. June 21, 2024 24-01921H NOTICE UNDER FICTITIOUS NAME LAW PURSUANT TO SECTION 865.09, FLORIDA STATUTES

PAGE 21 AUGUST 1- AUGUST 25, 2016
HILLSBOROUGH PAGES 17-28 PASCO PAGES 29-40 PAGE 17 **Additional Public Notices may be accessed on BusinessObserverFL.com and the statewide legal notice website, FloridaPublicNotices.com** JUNE 21 - JUNE 27, 2024
--- PUBLIC SALES ---
FINAL RANKING MEETING NOTICE Final Ranking Meeting for RFP 23-14 (Temporary Staffing Services, RJS) Will Be Held On Wednesday, July 10, 2024 at 2:30pm Location: Tampa Sports Authority Main Office 4201 N.
SAVE TIME legal@businessobserverfl.com • Deadline Wednesday at noon • Friday Publication LV20906_V21 OFFICIAL COURTHOUSE WEBSITES MANATEE COUNTY manateeclerk.com SARASOTA COUNTY sarasotaclerk.com CHARLOTTE COUNTY
HILLSBOROUGH
PINELLAS
POLK COUNTY
ORANGE COUNTY
LV20890_V5
LEE
COLLIER
COUNTY mypinellasclerk.gov
polkcountyclerk.net
myorangeclerk.com

NOTICE OF PUBLIC HEARING AND BOARD OF SUPERVISORS MEETING OF THE PANTHER TRACE II COMMUNITY DEVELOPMENT DISTRICT

The Board of Supervisors (the “Board”) of the Panther Trace II Community Development District (the “District”) will hold a public hearing and a meeting on July 22, 2024, at 6:30 p.m. at the Panther Trace II Clubhouse, 11518 Newgate Crest Drive, Riverview, Florida 33569.

The purpose of the public hearing is to receive public comments on the proposed adoption of the District’s fiscal year 20242025 proposed budget and the proposed levy of its annually recurring non-ad valorem special assessments for operation and maintenance to fund the items described in the proposed budget (the “O&M Assessments”).

At the conclusion of the public hearing, the Board will, by resolution, adopt a final budget, provide for the levy, collection, and enforcement of the O&M Assessments, and certify an assessment roll. A meeting of the Board will also be held where the Board may consider any other business that may properly come before it.

A copy of the proposed budget, preliminary assessment roll, and the agenda may be viewed on the District’s website at least 2 days before the meeting https://www.panthertracecdd2.net/, or may be obtained by contacting the District Manager’s office via email at kdarin@vestapropertyservices.com or via phone at (321) 263-0132, extension 742.

The table below presents the proposed schedule of the O&M Assessments. Amounts are preliminary and subject to change at the meeting and in any future year.

Lot Type Lot Count ER U O&M Assessment

The O&M Assessments (in addition to debt assessments, if any) will appear on the November 2024 property tax bill. Amount shown includes all applicable collection costs. Property owner is eligible for a discount of up to 4% if paid early.

The County Tax Collector will collect the assessments for all lots and parcels within the District. Alternatively, the District may elect to directly collect its assessments in accordance with Chapter 190, Florida Statutes. Failure to pay the District’s assessments will cause a tax certificate to be issued against the property which may result in a loss of title or a foreclosure action to be filed against the property. All affected property owners have the right to appear at the public hearing and to file written objections with the District within 20 days of publication of this notice.

The public hearing and meeting are open to the public and will be conducted in accordance with the provisions of Florida law for community development districts. They may be continued to a date, time, and place to be specified on the record at the hearing or meeting. There may be occasions when staff or Board members may participate by speaker telephone. The public may attend the meeting at the Clubhouse or by conference line. Please check the District’s website at https://www.panthertracecdd2.net/ prior to the public hearing/meeting date for the call in number in order to attend via the conference line.

In accordance with the provisions of the Americans with Disabilities Act, any person requiring special accommodations because of a disability or physical impairment should contact the District Manager’s office at least 2 business days prior to the meeting. If you are hearing or speech impaired, please contact the Florida Relay Service at 711 or 1-800-955-8771 (TTY), or 1-800-955-8770 (voice) for aid in contacting the District Manager’s office.

Each person who decides to appeal any decision made by the Board with respect to any matter considered at the public hearing or meeting is advised that person will need a record of proceedings and that accordingly, the person may need to ensure that a verbatim record of the proceedings is made, including the testimony and evidence upon which such appeal is to be based.

Kyle Darin District Manager June 21, 2024

NOTICE UNDER FICTITIOUS NAME LAW PURSUANT TO SECTION 865.09, FLORIDA STATUTES

NOTICE IS HEREBY GIVEN that the undersigned, desiring to engage in business under fictitious name of MAINSTAY SUITES TAMPA NORTH located at 6800 Woodstork Road in the County of HILLSBOROUGH in the City of Temple Terrace, Florida 33637 intends to register the said name with the Division of Corporations of the Florida Department of State, Tallahassee, Florida. Dated at PINELLAS, Florida, this 19th day of June, 2024. UNIVERSITY HOTEL TAMPA LLC June 21, 2024 24-01935H

NOTICE OF PUBLIC HEARING AND BOARD OF SUPERVISORS MEETING OF THE WYNNMERE EAST COMMUNITY DEVELOPMENT DISTRICT

The Board of Supervisors (the “Board”) of the Wynnmere East Community Development District (the “District”) will hold a public hearing and a meeting on Thursday, July 11, 2024, at 7:00 p.m. at the Southshore Regional Library, 15816 Beth Shields Way, Ruskin, Florida 33573.

The purpose of the public hearing is to receive public comments on the proposed adoption of the District’s fiscal year 20242025 proposed budget and the proposed levy of its annually recurring non-ad valorem special assessments for operation and maintenance to fund the items described in the proposed budget (the “O&M Assessments”).

At the conclusion of the public hearing, the Board will, by resolution, adopt a final budget, provide for the levy, collection, and enforcement of the O&M Assessments, and certify an assessment roll. A meeting of the Board will also be held where the Board may consider any other business that may properly come before it.

A copy of the proposed budget, preliminary assessment roll, and the agenda may be viewed on the District’s website at least 2 days before the meeting http://wynnmereeastcdd.com, or may be obtained by contacting the District Manager’s office via email at mhuber@rizzetta.com or via phone at (813) 933-5571 Ext. 2772.

The table below presents the proposed schedule of the O&M Assessments. Amounts are preliminary and subject to change at the meeting and in any future year.

Land Use Total # of Units / Acres EAU Factor Proposed Annual O&M Assessment (including collection costs / early payment discounts)

Single Family 316 1.00 $775.97

The O&M Assessments (in addition to debt assessments, if any) will appear on November 2024 Hillsborough County property tax bill. Amount shown includes all applicable collection costs. Property owner is eligible for a discount of up to 4% if paid early. The County Tax Collector will collect the assessments for all lots and parcels within the District. Alternatively, the District may elect to directly collect its assessments in accordance with Chapter 190, Florida Statutes. Failure to pay the District’s assessments will cause a tax certificate to be issued against the property which may result in a loss of title or a foreclosure action to be filed against the property. All affected property owners have the right to appear at the public hearing and to file written objections with the District within 20 days

or

There

staff or Board members may participate by speaker telephone. The public may attend the meeting at the Clubhouse or by conference line. Please check the District’s website at http://wynnmereeastcdd.com, prior to the public hearing/meeting date for the call in number in order to attend via the conference line.

In accordance with the provisions of the Americans with Disabilities Act, any person requiring special accommodations because of a disability or physical impairment should contact the District Manager’s office at least 2 business days prior to the meeting. If you are hearing or speech impaired, please contact the Florida Relay Service at 711 or 1-800-955-8771 (TTY), or 1-800-955-8770 (voice) for aid in contacting the District Manager’s office.

Each person who decides to appeal any decision made by the Board with respect to any matter considered at the public hearing or meeting is advised that person will need a record of proceedings and that accordingly, the person may need to ensure that a verbatim record of the proceedings is made, including the testimony and evidence upon which such appeal is to be based.

24-01910H

VILLAGES OF BLOOMINGDALE COMMUNITY DEVELOPMENT DISTRICT

NOTICE OF PUBLIC HEARING TO CONSIDER THE ADOPTION OF THE FISCAL YEAR 2024/2025 BUDGET(S); AND NOTICE OF REGULAR BOARD OF SUPERVISORS’ MEETING.

The Board of Supervisors (“Board”) of the Villages of Bloomingdale Community Development District (“District”) will hold a public hearing on July 16, 2024 at 9:00 a.m. at the Villages of Bloomingdale Clubhouse, 6301 Valleydale Drive, Riverview, Florida 33578, for the purpose of hearing comments and objections on the adoption of the proposed budget(s) (“Proposed Budget”) of the District for the fiscal year beginning October 1, 2024 and ending September 30, 2025 (“Fiscal Year 2024/2025”). A regular board meeting of the District will also be held at that time where the Board may consider any other business that may properly come before it. A copy of the agenda and Proposed Budget may be obtained at the offices of the District Manager, c/o Governmental Management Services – Tampa, LLC, 4530 Eagle Falls Place, Tampa, Florida 33619, (813) 344-4844 (“District Manager’s Office”), during normal business hours, or by visiting the District’s website at villagesofbloomingdalecdd.com.

The public hearing and meeting are open to the public and will be conducted in accordance with the provisions of Florida law. The public hearing and meeting may be continued to a date, time, and place to be specified on the record at the meeting. There may be occasions when Board Supervisors or District Staff may participate by speaker telephone.

Any person requiring special accommodations at this meeting because of a disability or physical impairment should contact the District Manager’s Office at least forty-eight (48) hours prior to the meeting. If you are hearing or speech impaired, please contact the Florida Relay Service by dialing 7-1-1, or 1-800-9558771 (TTY) / 1-800-955-8770 (Voice), for aid in contacting the District Manager’s Office.

Each person who decides to appeal any decision made by the Board with respect to any matter considered at the public hearing or meeting is advised that person will need a record of proceedings and that accordingly, the person may need to ensure that a verbatim record of the proceedings is made, including the testimony and evidence upon which such appeal is to be based.

Jason Greenwood District Manager June 21, 2024

24-01893H

NOTICE OF PUBLIC SALE:

Tampa Bay Auto Experts, INC gives Notice of Foreclosure of Lien and intent to sell these vehicles on 07/26/2024

08:30 AM at 5715 W LINEBAUGH AVE , TAMPA, FL 33624 pursuant to subsection 713.78 of the Florida Statutes. Tampa Bay Auto Experts, INC reserves the right to accept or reject any and/or all bids.

1GYS4BKJ7GR445348

2016 CADILLAC ESCALADE LUXURY June 21, 2024 24-01927H

NOTICE IS HEREBY GIVEN that the undersigned, desiring

June 21, 2024

NOTICE OF PUBLIC SALE:

Tampa Bay Auto Experts, INC gives Notice of Foreclosure of Lien and intent to sell these vehicles on 07/30/2024

08:30 AM at 5715 W LINEBAUGH AVE , TAMPA, FL 33624 pursuant to subsection 713.78 of the Florida Statutes. Tampa Bay Auto Experts, INC reserves the right to accept or reject any and/or all bids.

WDC0G4JB9JV048162

2018 MERCEDES-BENZ GLC 300

55SWF4KB9FU010159

2015 MERCEDES-BENZ C300 4 MATIC June 21, 2024 24-01926H

NOTICE UNDER FICTITIOUS NAME LAW ACCORDING TO FLORIDA STATUTE NUMBER 865.09

NOTICE IS HEREBY GIVEN that the undersigned, desiring to engage in business under the Fictitious Name of Gig DJs located at 15106 Barby Ave. in the City of Tampa, Hillsborough County, FL 33625 intends to register the said name with the Division of Corporations of the Department of State, Tallahassee, Florida.

Dated this 19th day of June, 2024. Jack Anthony Cotto June 21, 2024 24-01934H

CREEK PRESERVE COMMUNITY DEVELOPMENT DISTRICT REQUEST FOR PROPOSALS FOR ANNUAL AUDIT SERVICES

The Creek Preserve Community Development District hereby requests proposals for annual financial auditing services. The proposal must provide for the auditing of the District’s financial records for the fiscal year ending September 30, 2024, with an option for four additional annual renewals. The District is a local unit of specialpurpose government created under Chapter 190, Florida Statutes, for the purpose of financing, constructing, and maintaining public infrastructure. The District is located in Hillsborough County, Florida, and has a general fund and debt service fund. Each auditing entity submitting a proposal must be authorized to do business in Florida, hold all applicable state and federal professional licenses in good standing, duly licensed under Chapter 473, Florida Statutes, and be qualified to conduct audits in accordance with “Government Auditing Standards,” as adopted by the Florida Board of Accountancy. Audits shall be conducted in accordance with Florida Law and particularly Section 218.39, Florida Statutes, and the rules of the Florida Auditor General.

Proposal packages, which include evaluation criteria and instructions to proposers, are available from the District Recording Secretary at 4530 Eagle Falls Place, Tampa, FL 33619, via e-mail at nviverito@gms-tampa.com, and by telephone at (813) 344-4844.

Proposers must provide an electronic copy of their proposal to the District Recording Secretary Nicole Viverito at nviverito@gms-tampa.com. Proposals must be received by 5:00 p.m. on Wednesday, July 3, 2024. Proposals received after this time will not be eligible for consideration. The District reserves the right to reject any and all proposals, make modifications to the scope of the work, and waive any minor informalities or irregularities in proposals as it deems appropriate. Please direct all questions regarding this Notice to the District Manager. Creek Preserve Community Development District Rich McGrath, District Manager June 21, 2024 24-01911H

NOTICE OF PUBLIC SALE: ASCENSION AUTO SERVICE gives notice that

JUNE 21 - JUNE 27, 2024 BUSINESS OBSERVER HILLSBOROUGH COUNTY 18 --- PUBLIC SALES ---
Single Family 40’ 318 1.00 $796.24 Single Family 50’ 199 1.25 $995.30 Single Family 60’ 173 1.50 $1,194.36 Single Family 70’ 129 1.75 $1,393.42 Single Family 85’ 190
Villas 33.5’ 110 0.75 $597.18
2.13 $1,695.99
publication of this notice.
open to the public and will be conducted in accordance with the provisions of Florida
community development districts. They may be continued to a date, time, and place to be specified on the record at the
of
The public hearing and meeting are
law for
hearing
meeting.
may be occasions when
24-01912H
on 07/25/2024 at 10:00 AM the following vehicles(s) may be sold by public sale at 4108 W CAYUGA ST TAMPA FL 33614 to satisfy the lien for the amount owed on each vehicle for any recovery, towing, or storage services charges and administrative fees allowed pursuant to Florida statute 713.78. 1FTNE24W44HB36012 2004 FORD 1FTZX1722YNB62002 2000 FORD 1GCCS19X0VK238987 1997 CHEV 5NPET46CX9H541210 2009 HYUN L5YACBPZ9P1102602 2023 ZHNG June 21, 2024 24-01936H
NOTICE UNDER FICTITIOUS NAME LAW Pursuant to F.S. §865.09
to engage in business under the fictitious name of Pointed Pen Publishing, located at 7613 Devonbridge Garden Way, in the City of Apollo Beach, County of Hillsborough, State of FL, 33572, intends to register the said name with the Division of Corporations of the Florida Department of State, Tallahassee, Florida. Dated this 19 of June, 2024. Robert Oral Young 7613 Devonbridge Garden Way Apollo Beach, FL 33572 June 21, 2024 24-01938H NOTICE OF PUBLIC SALE Public Notice is hereby given that National Auto Service Centers Inc. will sell at PUBLIC AUCTION free of all prior liens the follow vehicle(s) that remain unclaimed in storage with charges unpaid pursuant to Florida Statutes, Sec. 713.78 to the highest bidder at 2309 N 55th St. Tampa, FL 33619 on 07/05/2024 at 9:00 A.M. 1FM5K7B89HGC58091 2017 FORD EXPLORER Terms of the sale are CASH. NO REFUNDS! Vehicle(s) are sold “AS IS”. National Auto Service Centers, Inc. reserves the right to accept or reject any and/or all bids. Terms of the sale are CASH. NO REFUNDS! Vehicle(s) are sold “AS IS”. National Auto Service Centers, Inc. reserves the right to accept or reject any and/or all bids. NATIONAL AUTO SERVICE CENTER June 21, 2024 24-01925H LV20878_V5 • We offer an online payment portal for easy credit card payment • Service includes us e-filing your affidavit to the Clerk’s office on your behalf • Simply email your notice to legal@ businessobserverfl.com LEGAL NOTICE PUBLISH YOUR We publish all Public sale, Estate & Courtrelated notices manateeclerk.com sarasotaclerk.com charlotteclerk.com leeclerk.org collierclerk.com hillsclerk.com pascoclerk.com mypinellasclerk.gov polkcountyclerk.net myorangeclerk.com OFFICIAL COURTHOUSE WEBSITES LV20890_V4

HILLSBOROUGH COUNTY 19

--- PUBLIC SALES ---

NOTICE OF PUBLIC HEARING AND BOARD

OF SUPERVISORS MEETING OF THE HAWKSTONE COMMUNITY DEVELOPMENT DISTRICT

The Board of Supervisors (the “Board”) of the Hawkstone Community Development District (the “District”) will hold a public hearing and a meeting on July 17, 2024, at 4:00 p.m. at the Office of Rizzetta & Company Inc. located at 2700 S. Falkenburg Road, Suite 2745, Riverview, FL 33578.

The purpose of the public hearing is to receive public comments on the proposed adoption of the District’s fiscal year 20242025 proposed budget and the proposed levy of its annually recurring non-ad valorem special assessments for operation and maintenance to fund the items described in the proposed budget (the “O&M Assessments”).

At the conclusion of the public hearing, the Board will, by resolution, adopt a final budget, provide for the levy, collection, and enforcement of the O&M Assessments, and certify an assessment roll. A meeting of the Board will also be held where the Board may consider any other business that may properly come before it.

A copy of the proposed budget, preliminary assessment roll, and the agenda may be viewed on the District’s website at least 2 days before the meeting https://www.hawkstonecdd.org/, or may be obtained by contacting the District Manager’s office via email at sdeluna@rizzetta.com or via phone at (813) 533-2950.

The table below presents the proposed schedule of the O&M Assessments. Amounts are preliminary and subject to change at the meeting and in any future year.

Product Type EU FACTOR # Units Assessment TOTAL Single Family

$176,329.0

The O&M Assessments (in addition to debt assessments, if any) will appear on November 2024 Hillsborough County property tax bill. Amount shown includes all applicable collection costs. Property owner is eligible for a discount of up to 4% if paid early. The County Tax Collector will collect the assessments for all lots and parcels within the District. Alternatively, the District may elect to directly collect its assessments in accordance with Chapter 190, Florida Statutes. Failure to pay the District’s assessments will cause a tax certificate to be issued against the property which may result in a loss of title or a foreclosure action to be filed against the property. All affected property owners have the right to appear at the public hearing and to file written objections with the District within 20 days of publication of this notice.

The public hearing and meeting are open to the public and will be conducted in accordance with the provisions of Florida law for community development districts. They may be continued to a date, time, and place to be specified on the record at the hearing or meeting. There may be occasions when staff or Board members may participate by speaker telephone.

In accordance with the provisions of the Americans with Disabilities Act, any person requiring special accommodations because of a disability or physical impairment should contact the District Manager’s office at least 2 business days prior to the meeting. If you are hearing or speech impaired, please contact the Florida Relay Service at 711 or 1-800-955-8771 (TTY), or 1-800-955-8770 (voice) for aid in contacting the District Manager’s office.

Each person who decides to appeal any decision made by the Board with respect to any matter considered at the public hearing or meeting is advised that person will need a record of proceedings and that accordingly, the person may need to ensure that a verbatim record of the proceedings is made, including the testimony and evidence upon which such appeal is to be based. Stephanie DeLuna District Manager

June 21, 2024

NOTICE TO CREDITORS IN THE CIRCUIT COURT OF THE THIRTEENTH JUDICIAL CIRCUIT OF THE STATE OF FLORIDA, IN AND FOR HILLSBOROUGH COUNTY PROBATE DIVISION File No.: 24-CP-001857 Division: B IN RE: ESTATE OF: JACQUELYN L. GRAVES, Deceased. The administration of the estate of JACQUELYN L. GRAVES, deceased, whose date of death was April 20, 2024, File Number 24-CP-001857, is pending in the Circuit Court for Hillsborough County, Florida, Probate Division, the address of which is P.O. Box 3360, Tampa, Florida 33601-3360. The names and addresses of the Personal Representative and the Personal Representative’s attorney are set forth below.

NOTICE TO CREDITORS

IN THE CIRCUIT COURT OF THE 13TH JUDICIAL CIRCUIT IN AND FOR HILLSBOROUGH COUNTY, FLORIDA

PROBATE DIVISION (B) CASE NO.: 2024-CP-000963

IN RE: THE ESTATE OF WALTER B. JAKES, Deceased.

The administration of the estate of Walter B. Jakes, deceased, whose date of death was November 26, 2023, is pending in the Circuit Court for Broward County, Florida, Probate Division File Number: 2024-CP-000963, the address of which is 201 SE 6th Street, Fort Lauderdale, Florida 33301. The names and addresses of the personal representative and the personal representative’s attorney are set forth below. All creditors of the decedent and

All creditors of the decedent and other persons having claims or demands against decedent’s estate on whom a copy of this notice has been served must file their claims with this Court ON OR BEFORE THE LATER OF THREE MONTHS AFTER THE DATE OF THE FIRST PUBLICATION OF THIS NOTICE OR THIRTY DAYS AFTER THE TIME OF SERVICE OF A COPY OF THIS NOTICE ON THEM.

All other creditors of the decedent and other persons having claims or demands against decedent’s estate must file their claims with this Court WITHIN THREE MONTHS AFTER THE DATE OF THE FIRST PUBLICATION OF THIS NOTICE.

ALL CLAIMS NOT FILED WITHIN THE TIME PERIODS SET FORTH IN §733.702 OF THE FLORIDA PROBATE CODE WILL BE FOREVER BARRED.

other persons, who have claims or demands against decendent’s estate, including unmatured, contingent or unliquidated claims, and who have been served a copy of this notice, must file their claims with this court WITHIN THE LATER OF THREE (3) MONTHS AFTER THE DATE OF THE FIRST PUBLICATION OF THIS NOTICE, OR THIRTY (30) DAYS AFTER THE DATE OF SERVICE OF A COPY OF THIS NOTICE ON THEM. All other creditors of the decedent and persons having claims or demands against the decedent’s estate must file their claims with this Court WITHIN THREE (3) MONTHS AFTER THE DATE OF THE FIRST PUBLICATION OF THIS NOTICE. ALL CLAIMS NOT FILED WITHIN THE TIME PERIODS SET FORTH IN SECTION 733.702 OF THE FLORIDA PROBATE CODE WILL BE FOREV-

FIRST INSERTION

NOTICE TO CREDITORS IN THE CIRCUIT COURT FOR HILLSBOROUGH COUNTY, FLORIDA PROBATE DIVISION CASE NO. 24-CP-001056 IN RE: THE ESTATE OF OLGA KUEHL-WHITE A/K/A OLGA LLANO KUEHL-WHITE

The administration of the estate of Olga Kuehl-White a/k/a Olga Llano KuehlWhite, deceased, whose date of death was November 19, 2023, is pending in the Circuit Court for the Thirteenth Judicial Circuit of the State of Florida, in and for the County of Hillsborough –Probate Division, the address of which is the George E. Edgecomb Courthouse at 800 Twiggs St., Tampa, FL 33602. The names and addresses of the personal representative and the personal representative’s attorney are set forth below.

ALL INTERESTED PERSONS ARE NOTIFIED THAT:

All creditors of the decedent and other persons having claims or demands against decedent’s estate on whom a copy of this notice is required to be served must file their claims with the court ON OR BEFORE THE LATER OF 3 MONTHS AFTER THE TIME OF THE FIRST PUBLICATION OF THIS NOTICE OR 30 DAYS AFTER THE DATE OF SERVICE OF A COPY OF THIS NOTICE ON THEM.

All other creditors of the decedent and other persons having claims or demands against decedent’s estate must file their claims with this court WITHIN 3 MONTHS AFTER THE DATE OF THE FIRST PUBLICATION OF THIS NOTICE.

ALL CLAIMS NOT FILED WITHIN THE TIME PERIODS SET FORTH IN SECTION 733.702 OF THE FLORIDA PROBATE CODE WILL BE FOREVER BARRED.

NOTWITHSTANDING THE TIME PERIODS SET FORTH ABOVE, ANY CLAIM FILED TWO (2) YEARS OR MORE AFTER THE DECEDENT’S DATE OF DEATH IS BARRED.

The date of first publication of this notice is June 21, 2024.

Personal Representative: Valarie Grim 701 S Howard Ave, Suite 106339 Tampa, FL 33606

Personal Representative’s Attorney

Shane K. Warner - Of the Firm, FSB # 92131

Attorney for the Personal Representative

Warner Legal

3401 W. Cypress St., Suite 204 Tampa, FL 33607

Ph: (813) 470-6341

Fax: (888) 900-2630

Notice of Jud. R. Ad. 2.516 designated emails Email: swarner@swarnerlaw.com

June 21, 28, 2024 24-01887H

FIRST INSERTION NOTICE TO CREDITORS IN THE CIRCUIT COURT OF THE THIRTEENTH JUDICIAL CIRCUIT IN AND FOR HILLSBOROUGH COUNTY FLORIDA PROBATE DIVISION CASE NO.: 24-CP-001690

DIVISION: A IN RE: ESTATE OF MICHAEL JEROME HOLMES. DIVISION: A DECEASED.

NOTWITHSTANDING THE TIME PERIODS SET FORTH ABOVE, ANY CLAIM FILED TWO (2) YEARS OR MORE AFTER THE DECEDENT’S DATE OF DEATH IS BARRED.

The date of first publication of this notice is June 21, 2024. /s/ Francisco Rafael Menendez FRANCISCO RAFAEL MENENDEZ

Personal Representative 117 South Willow Avenue Tampa, Florida 33606 /s/ Neal Weinstein NEAL WEINSTEIN, ESQ. 412 East Madison Street Suite 1111 Tampa, Florida 33602 (813) 223-2792 Attorney for Personal Representative Florida Bar No. 241474

Email: nealwesq@hotmail.com June 21, 28, 2024 24-01905H

ER BARRED. NOTWITHSTANDING THE TIME PERIODS SET FORTH ABOVE, ANY CLAIM FILED TWO (2) YEARS OR MORE AFTER THE DECEDENT’S DATE OF DEATH IS BARRED. THE DATE OF THE FIRST PUBLICATION OF THIS NOTICE IS: June 21, 2024.

Personal Representative: Latauisha Willis 4372 Port Lane, Cobb County Powder Springs, Georgia 30127 /s/LAWRENCE D. SCHOTT LAWRENCE D. SCHOTT, ESQ.

Attorney for Personal Representative: Lawrence D. Schott, P.A. 601 North Federal Highway, Suite 301 Hallandale Beach, Florida 33009

Tel: (954) 455-3399

FBN: 868507 E-Mail Address: LDSPAESQ@aol.com June 21, 28, 2024 24-01929H

--- ESTATE ---

FIRST INSERTION

NOTICE TO CREDITORS IN THE CIRCUIT COURT FOR HILLSBOROUGH COUNTY, FLORIDA PROBATE DIVISION File No.: 23-CP-003310

Division: A IN RE: ESTATE OF RANDALL BARRETT SCHRUM, Deceased.

The administration of the Estate of Randall Barrett Schrum, deceased, whose date of death was September 5, 2023, is pending in the Circuit Court for Hillsborough County, Florida, Probate Division, the address of which is 800 E. Twiggs Street, Tampa, Florida 33602. The names and addresses of the personal representative and the personal representative’s attorney are set forth below.

All creditors of the decedent and other persons having claims or demands against decedent’s estate on whom a copy of this notice is required to be served must file their claims with this court ON OR BEFORE THE LATER OF 3 MONTHS AFTER THE TIME OF THE FIRST PUBLICATION OF THIS NOTICE OR 30 DAYS AFTER THE DATE OF SERVICE OF A COPY OF THIS NOTICE ON THEM.

All other creditors of the decedent and other persons having claims or demands against decedent’s estate must file their claims with this court WITHIN 3 MONTHS AFTER THE DATE OF THE FIRST PUBLICATION OF THIS NOTICE.

ALL CLAIMS NOT FILED WITHIN THE TIME PERIODS SET FORTH IN FLORIDA STATUTES SECTION 733.702 WILL BE FOREVER BARRED.

NOTWITHSTANDING THE TIME PERIODS SET FORTH ABOVE, ANY CLAIM FILED TWO (2) YEARS OR MORE AFTER THE DECEDENT’S DATE OF DEATH IS BARRED.

The date of first publication of this notice is June 21, 2024. Personal Representative: Laureen Schrum 4502 Loma Vista Drive Valrico, Florida 33596

Attorney for Personal Representative: Elaine N. McGinnis Florida Bar Number: 725250 324 N. Dale Mabry Highway Suite 100 Tampa, Florida 33609 Telephone: (813) 851-3380

E-Mail: elaine@estatelawtampa.com

June 21, 28, 2024 24-01863H

FIRST INSERTION

NOTICE TO CREDITORS IN THE CIRCUIT COURT FOR HILLSBOROUGH COUNTY, FLORIDA PROBATE DIVISION File No. 24-CP-001887 IN RE: ESTATE OF FRANCIS JOHN PERELLA, aka FRANCIS J. PERELLA Deceased.

FIRST INSERTION NOTICE TO CREDITORS IN THE CIRCUIT COURT FOR HILLSBOROUGH COUNTY, FLORIDA PROBATE DIVISION File No. 24-CP-001818 IN RE: ESTATE OF JUANITA FRANCIS DARRIGO, Deceased. The administration of the estate of JUANITA FRANCIS DARRIGO, deceased, whose date of death was February 24, 2024, is pending in the Circuit Court for Hillsborough County, Florida, Probate Division, the address of which is PO Box 1110, Tampa, FL 33601. The names and addresses of the personal representatives and the personal representatives’ attorney are set forth below. All creditors of the decedent and other persons having claims or demands against decedent’s estate, on whom a copy of this notice is required to be served, must file their claims with this court ON OR BEFORE THE LATER OF 3 MONTHS AFTER THE TIME OF THE FIRST PUBLICATION OF THIS NOTICE OR 30 DAYS AFTER THE DATE OF SERVICE OF A COPY OF THIS NOTICE ON THEM. All other creditors of the decedent and other persons having claims or demands against decedent’s estate must file their claims with this court WITHIN 3 MONTHS AFTER THE DATE OF THE FIRST PUBLICATION OF THIS NOTICE.

ALL CLAIMS NOT FILED WITHIN THE TIME PERIODS SET FORTH IN FLORIDA STATUTES SECTION 733.702 WILL BE FOREVER BARRED. NOTWITHSTANDING THE TIME PERIOD SET FORTH ABOVE, ANY CLAIM FILED TWO (2) YEARS OR MORE AFTER THE DECEDENT’S DATE OF DEATH

The administration of the estate of MICHAEL JEROME HOLMES, deceased, File Number 24-CP-001690 is pending in the Circuit Court for Hillsborough County, Florida, Probate Division, the address of which is 800 E. Twiggs Street, Tampa, Florida 33602. The name and address of the personal Representative and the personal representative’s attorney are set forth below. All creditors of the decedent and other persons having claims or demands against decedent’s estate on whom a copy of this notice has been served must file their claims with this court WITHIN THE LATER OF 3 MONTHS AFTER THE DATE OF THE FIRST PUBLICATION OF THIS NOTICE OR 30 DAYS AFTER TIME OF SERVICE OF A COPY OF THIS NOTICE ON THEM.

All other creditors of the decedent and other persons having claims or demands against decedent’s estate must file their claim with this court WITHIN 3 MONTHS AFTER THE DATE OF THE FIRST PUBLICATION OF THIS NOTICE. ALL CLAIMS NOT SO FILED WILL BE FOREVER BARRED. NOTWITHSTANDING THE TIME PERIOD SET FORTH ABOVE, ANY CLAIM FILED TWO (2) YEARS OR MORE AFTER THE DECEDENT’S DATE OF DEATH IS BARRED.

The date of first publication of this notice is June 21, 2024.

DATE 06/12/2024

/s/ JAROTHA JEAN REED 14246 Southeast 47th Place Starke, Florida 32091

DATE 6/13/2024

/s/ FEHINTOLA OGUNTEBI

1904 West Cass Street Tampa, Florida 33606 (813) 254-8717 kemi@oguntebilaw.com FBN: 049042

Attorney for Personal Representative June 21, 28, 2024 24-01877H

TO ALL PERSONS HAVING CLAIMS OR DEMANDS AGAINST THE ABOVE ESTATE: You are hereby notified that an Order of Summary Administration has been entered in the estate of FRANCIS JOHN PERELLA, aka FRANCIS J. PERELLA, deceased, File Number 24-CP-001887; by the Circuit Court for Hillsborough County, Florida, Probate Division, the address of which is P.O. Box 1110, Tampa, FL 33601-1110; that the Decedent’s date of death was October 25, 2023; that the total value of the estate is $25,516.58, and that the names and addresses of those to whom it has been assigned by such order are: Creditors: NONE

Beneficiaries: RITA PERELLA 3115 Belmore Rd. Tampa, FL 33618

ALL INTERESTED PERSONS ARE NOTIFIED THAT: All creditors of the estate of the Decedent and persons having claims or demands against the estate of the Decedent other than those for whom provision for full payment was made in the Order of Summary Administration must file their claims with this court WITHIN THE TIME PERIODS SET FORTH IN FLORIDA STATUTES SECTION 733.702. ALL CLAIMS AND DEMANDS NOT SO FILED WILL BE FOREVER BARRED. NOTWITHSTANDING ANY OTHER APPLICABLE TIME PERIOD, ANY CLAIM FILED TWO (2) YEARS OR MORE AFTER THE DECEDENT’S DATE OF DEATH IS BARRED. The date of first publication of this Notice is June 21, 2024.

Persons Giving Notice: RITA PERELLA 3115 Belmore Rd. Tampa, FL 33618

Attorneys for Persons Giving Notice: CHRISTOPHER H. NORMAN

Florida Bar No. 821462

ASHLEY G. FRIEDRICH

Florida Bar No. 1007955

Attorneys for Petitioner Hines Norman Hines, P.L. 315 South Hyde Park Avenue Tampa, FL 33606

Telephone: 813-251-8659

Email: cnorman@hnh-law.com

Secondary Email: afriedrich@hnh-law.com June 21, 28, 2024 24-01864H

Robert D. Hines

Florida Bar No. 0413550

Ashley G. Friedrich

Florida Bar No. 1007955

Attorneys for Personal Representatives Hines Norman Hines, P.L. 315 South Hyde Park Avenue Tampa, FL 33606 Telephone: 813-265-0100 Email: rhines@hnh-law.com

Secondary Email: afriedrich@hnh-law.com June 21, 28, 2024 24-01865H

FIRST INSERTION NOTICE TO CREDITORS IN THE CIRCUIT COURT FOR HILLSBOROUGH COUNTY, FLORIDA PROBATE DIVISION File No. 23-CP-003979

Division Probate IN RE: ESTATE OF VIDA VICTORIA DESANTIS, Deceased.

The administration of the estate of Vida Victoria DeSantis, deceased, whose date of death was September 10, 2023, is pending in the Circuit Court for Hillsborough County, Florida, Probate Division, the address of which is 800 E. Twiggs St, Tampa FL 33602. The names and addresses of the personal representative and the personal representative’s attorney are set forth below. All creditors of the decedent and other persons having claims or demands against decedent’s estate on whom a copy of this notice is required to be served must file their claims with this court ON OR BEFORE THE LATER OF 3 MONTHS AFTER THE TIME OF THE FIRST PUBLICATION OF THIS NOTICE OR 30 DAYS AFTER THE DATE OF SERVICE OF A COPY OF THIS NOTICE ON THEM. All other creditors of the decedent and other persons having claims or demands against decedent’s estate must file their claims with this court WITHIN 3 MONTHS AFTER THE DATE OF THE FIRST PUBLICATION OF THIS NOTICE. ALL CLAIMS NOT FILED WITHIN THE TIME PERIODS SET FORTH IN FLORIDA STATUTES SECTION 733.702 WILL BE FOREVER BARRED. NOTWITHSTANDING THE TIME PERIOD SET FORTH ABOVE, ANY CLAIM FILED TWO (2) YEARS OR MORE AFTER THE DECEDENT’S DATE OF DEATH IS BARRED. The date of first publication of this notice is June 21,

JUNE 21 – JUNE 27, 2024 BusinessObserverFL.com
FIRST INSERTION FIRST INSERTION
IS BARRED. The date of first publication of this notice is: June 21, 2024. DONNA MARIE STOCKFORD Personal Representative 2521 W. North St. Tampa, FL 33614 CARL DARRIGO Personal Representative 810 N. Castle Ct. Tampa, FL 33612
Personal Representative: /s/ Paula Desantis-Tarris 5002 Arundell Ct. Tampa, FL 33624 Attorney for Personal Representative: /s/ M. Donald Reddish E-Mail Addresses: donald@reddishlawfirm.com becky@reddishlawfirm.com Florida Bar No. 0165565 Reddish Law Firm 28050 U.S. Hwy. 19 North., Suite 208 Clearwater, FL 33761 Telephone: 727-723-0004 June 21, 28, 2024 24-01888H
2024.
O&M
40’ 0.80 184 $958.31 4 Single Family $585,768.2 50’ 1.00 489 $1,197.89 1 Single Family $370,867.2 60’ 1.20 258 $1,437.47 6 Single Family
70’ 1.40 116 $1,677.05 0
$194,537.8
24-01913H ---
---
ESTATE

FIRST INSERTION NOTICE TO CREDITORS IN THE CIRCUIT COURT FOR HILLSBOROUGH COUNTY, FLORIDA

PROBATE DIVISION

File No.: 24-CP-001746

Division: B IN RE: ESTATE OF EUGENE BRENZEL, Deceased.

The administration of the ancillary estate of Eugene Brenzel, deceased, whose date of death was September 24, 2023; social security number xxx xx 1837, File Number 24-CP-001746, is pending in the Circuit Court for Hillsborough County, Florida, Probate Division, the address of which is 800 E. Twiggs Street, Tampa, FL 33602. The names and addresses of the personal representative and the personal representative’s attorney are set forth below.

All creditors of the decedent and other persons having claims or demands against decedent’s estate, on whom a copy of this notice is required to be served must file their claims with this court WITHIN THE LATER OF 3 MONTHS AFTER THE TIME OF THE FIRST PUBLICATION OF THIS NOTICE OR 30 DAYS AFTER THE DATE OF SERVICE OF A COPY OF THIS NOTICE ON THEM. All other creditors of the decedent and other persons having claims or demands against decedent’s estate must file their claims with this court WITHIN 3 MONTHS AFTER THE DATE OF THE FIRST PUBLICATION OF THIS NOTICE. ALL CLAIMS NOT FILED WITHIN THE TIME PERIODS SET FORTH IN SECTION 733.702 OF THE FLORIDA PROBATE CODE WILL BE FOREVER BARRED.

NOTWITHSTANDING THE TIME PERIOD SET FORTH ABOVE, ANY CLAIM FILED TWO (2) YEARS OR MORE AFTER THE DECEDENT’S DATE OF DEATH IS BARRED.

The date of first publication of this notice is: June 21, 2024. /s/ DONNA M. DEPOTI

Personal Representative P.O. Box 591 Carbondale, PA 18407 /s/ GREGORY A. FOX, ESQUIRE Attorney for Personal Representative Florida Bar No. 382302 FOX & FOX, P.A.

2515 Countryside Blvd. Ste G Clearwater, Florida 33763

Telephone: 727-796-4556

Email: greg@foxlawpa.com June 21, 28, 2024 24-01867H

FIRST INSERTION

NOTICE TO CREDITORS IN THE CIRCUIT COURT FOR HILLSBOROUGH COUNTY, FLORIDA PROBATE DIVISION File No. 24-CP-001466 Division B IN RE: ESTATE OF MARION RAINES Deceased.

The administration of the estate of MARION RAINES, deceased, whose date of death was June 15, 2023, is pending in the Circuit Court for Hillsborough County, Florida, Probate Division, the address of which is P.O. Box 1110, Tampa, FL 33601. The names and addresses of the personal representative and the personal representative’s attorney are set forth below.

All creditors of the decedent and other persons having claims or demands against decedent’s estate on whom a copy of this notice is required to be served must file their claims with this court ON OR BEFORE THE LATER OF 3 MONTHS AFTER THE TIME OF THE FIRST PUBLICATION OF THIS NOTICE OR 30 DAYS AFTER THE DATE OF SERVICE OF A COPY OF THIS NOTICE ON THEM. All other creditors of the decedent and other persons having claims or demands against decedent’s estate must file their claims with this court WITHIN 3 MONTHS AFTER THE DATE OF THE FIRST PUBLICATION OF THIS NOTICE. ALL CLAIMS NOT FILED WITHIN THE TIME PERIODS SET FORTH IN FLORIDA STATUTES SECTION 733.702 WILL BE FOREVER BARRED.

NOTWITHSTANDING THE TIME PERIODS SET FORTH ABOVE, ANY CLAIM FILED TWO (2) YEARS OR MORE AFTER THE DECEDENT’S DATE OF DEATH IS BARRED. The date of first publication of this notice is June 21, 2024.

Personal Representative:

/s/ Deena Copeland 119 Aberdeen Pond Drive Apollo Beach, Florida 33572

Attorney for Personal Representative:

/s/ Debra L. Dandar

DEBRA L. DANDAR, Attorney

Florida Bar Number: 118310

TAMPA BAY ELDER LAW CENTER

3611 West Azeele Street Tampa, FL 33609

Telephone: (813) 282-3390

Fax: (813) 902-3829

Debra@TBELC.com

Amy.Morris@TBELC.com June 21, 28, 2024 24-01868H

FIRST INSERTION NOTICE TO CREDITORS IN THE CIRCUIT COURT FOR HILLSBOROUGH COUNTY, FLORIDA PROBATE DIVISION File No. 24-CP-001921 Division A IN RE: ESTATE OF MARIA DE LOURDES NUNES a/k/a MARIA L. NUNES, Deceased. The administration of the estate of MARIA DE LOURDES NUNES, also known as MARIA L. NUNES, deceased, whose date of death was May 20, 2024, is pending in the Circuit Court for Hillsborough County, Florida, Probate Division, the address of which is 800 E. Twiggs Street, Tampa, Florida 33602. The names and addresses of the personal representative and the personal representative’s attorney are set forth below.

All creditors of the decedent and other persons having claims or demands against decedent’s estate, on whom a copy of this notice is required to be served, must file their claims with this court ON OR BEFORE THE LATER OF 3 MONTHS AFTER THE TIME OF THE FIRST PUBLICATION OF THIS NOTICE OR 30 DAYS AFTER THE DATE OF SERVICE OF A COPY OF THIS NOTICE ON THEM.

All other creditors of the decedent and other persons having claims or demands against decedent’s estate must file their claims with this court WITHIN 3 MONTHS AFTER THE DATE OF THE FIRST PUBLICATION OF THIS NOTICE.

ALL CLAIMS NOT FILED WITHIN THE TIME PERIODS SET FORTH IN FLORIDA STATUTES SECTION 733.702 WILL BE FOREVER BARRED. NOTWITHSTANDING THE TIME PERIOD SET FORTH ABOVE, ANY CLAIM FILED TWO (2) YEARS OR MORE AFTER THE DECEDENT’S DATE OF DEATH IS BARRED.

The date of first publication of this notice is: June 21, 2024.

Personal Representative MICHELLE M. RODRIGUEZ (FORMERLY KNOWN AS MICHELLE R. NUNES MORAES) 2442 W. Mississippi Avenue, Unit 12 Tampa, Florida 33629

Attorney for Personal Representative JAMIL G. DAOUD Florida Bar No. 25862 Foley & Lardner LLP 100 N. Tampa Street, Suite 2700 Tampa, Florida 33602

Telephone: 813-229-2300

Email: jdaoud@foley.com June 21, 28, 2024 24-01875H

FIRST INSERTION Notice to Creditors IN THE CIRCUIT COURT FOR HILLSBOROUGH COUNTY, FLORIDA PROBATE DIVISION FILE NO. 24-CP-000947 IN RE: ESTATE OF CHARLES F. LANGSTAFF, Deceased.

The administration of the estate of Charles F. Langstaff, deceased, whose date of death was November 4, 2023, is pending in the Circuit Court for Hillsborough County, Florida, Probate Division; the address of which is 307 N Michigan Ave, Plant City, FL 33563. The name and address of the personal representative and the personal representative’s attorney are set forth below.

All creditors of the decedent and other persons having claims or demands against decedent’s estate on whom a copy of this notice is required to be served must file their claims with this court ON OR BEFORE THE LATER OF 3 MONTHS AFTER THE TIME OF THE FIRST PUBLICATION OF THIS NOTICE OR 30 DAYS AFTER THE DATE OF SERVICE OF A COPY OF THIS NOTICE ON THEM. All other creditors of the decedent and other persons having claims or demands against decedent’s estate must file their claims with this court WITHIN 3 MONTHS AFTER THE DATE OF THE FIRST PUBLICATION OF THIS NOTICE.

ALL CLAIMS NOT FILED WITHIN THE TIME PERIODS SET FORTH IN FLORIDA STATUTES SECTION 733.702 WILL BE FOREVER BARRED. NOTWITHSTANDING THE TIME PERIODS SET FORTH ABOVE, ANY CLAIM FILED TWO (2) YEARS OR MORE AFTER THE DECEDENT’S DATE OF DEATH IS BARRED.

The date of first publication of this notice is June 21, 2024.

Personal Representative: Paulette Pilkington 13 Lake Vista Trail, Apt. #102 Port St. Lucie, FL 34952

Attorney for Personal Representative: Lindsey H. Donoff, Esquire

Florida Bar No. 89531

Craig Donoff, P.A. 6100 Glades Road, Suite 301 Boca Raton, FL 33434

Telephone: (561) 451-8220

Lindsey@craigdonoffpa.com

Dianne@craigdonoff.com June 21, 28, 2024 24-01876H

FIRST INSERTION NOTICE TO CREDITORS IN THE CIRCUIT COURT FOR HILLSBOROUGH COUNTY, FLORIDA PROBATE DIVISION File No. 24-CP-001634

IN RE: ESTATE OF BETTYE JO BLANDING, Deceased. The administration of the estate of BETTYE JO BLANDING, deceased, whose date of death was April 11, 2024, is pending in the Circuit Court for Hillsborough County, Florida, Probate Division, the address of which is PO Box 1110, Tampa, FL 33601. The names and addresses of the personal representative and the personal representative’s attorney are set forth below. All creditors of the decedent and other persons having claims or demands against decedent’s estate, on whom a copy of this notice is required to be served, must file their claims with this court ON OR BEFORE THE LATER OF 3 MONTHS AFTER THE TIME OF THE FIRST PUBLICATION OF THIS NOTICE OR 30 DAYS AFTER THE DATE OF SERVICE OF A COPY OF THIS NOTICE ON THEM.

All other creditors of the decedent and other persons having claims or demands against decedent’s estate must file their claims with this court WITHIN 3 MONTHS AFTER THE DATE OF THE FIRST PUBLICATION OF THIS NOTICE.

ALL CLAIMS NOT FILED WITHIN THE TIME PERIODS SET FORTH IN FLORIDA STATUTES SECTION 733.702 WILL BE FOREVER BARRED.

NOTWITHSTANDING THE TIME PERIOD SET FORTH ABOVE, ANY CLAIM FILED TWO (2) YEARS OR MORE AFTER THE DECEDENT’S DATE OF DEATH IS BARRED.

The date of first publication of this notice is: June 21, 2024.

MARGARET A. ARRINGTON

Personal Representative 5813 Camp St. Wimauma, FL 33598

James P. Hines, Jr. Florida Bar No. 061492

Ashley G. Friedrich Florida Bar No. 1007955

Attorneys for Personal Representative Hines Norman Hines, P.L. 315 South Hyde Park Avenue Tampa, FL 33606

Telephone: 813-251-8659

Email: jhinesjr@hnh-law.com

Secondary Email: afriedrich@hnh-law.com June 21, 28, 2024 24-01866H

FIRST INSERTION

NOTICE TO CREDITORS IN THE CIRCUIT COURT FOR HILLSBOROUGH COUNTY, FLORIDA

PROBATE DIVISION File No. 23-CP-004245 IN RE: ESTATE OF RICHARD EARL BUCK a/k/a RICHARD E. BUCK a/k/a DICK E. BUCK

Deceased.

The administration of the estate of Richard Earl Buck a/k/a Richard E. Buck a/k/a Dick E. Buck, deceased, whose date of death was November 12, 2023, is pending in the Circuit Court for Hillsborough County, Florida, Probate Division, the address of which is 800 E. Twiggs Street, Tampa, Florida 33602. The names and addresses of the personal representative and the personal representative’s attorney are set forth below.

All creditors of the decedent and other persons having claims or demands against decedent’s estate on whom a copy of this notice is required to be served must file their claims with this court ON OR BEFORE THE LATER OF 3 MONTHS AFTER THE TIME OF THE FIRST PUBLICATION OF THIS NOTICE OR 30 DAYS AFTER THE DATE OF SERVICE OF A COPY OF THIS NOTICE ON THEM.

All other creditors of the decedent and other persons having claims or demands against decedent’s estate must file their claims with this court WITHIN 3 MONTHS AFTER THE DATE OF THE FIRST PUBLICATION OF THIS NOTICE.

ALL CLAIMS NOT FILED WITHIN THE TIME PERIODS SET FORTH IN FLORIDA STATUTES

SECTION 733.702 WILL BE FOREVER BARRED. NOTWITHSTANDING THE TIME PERIODS SET FORTH ABOVE, ANY CLAIM FILED TWO (2) YEARS OR MORE AFTER THE DECEDENT’S DATE OF DEATH IS BARRED.

The date of first publication of this notice is June 21, 2024.

Personal Representative: Kelsey Ann Duggan

314 S. Missouri Avenue, Suite 201 Clearwater, Florida 33756

Attorney for Personal Representative: Ashly Mae Guernaccini, Esq.

Florida Bar Number: 1022329

314 S. Missouri Avenue, Suite 201 Clearwater, Florida 33756

Telephone: (727) 477-2255

FIRST INSERTION NOTICE TO CREDITORS IN THE CIRCUIT COURT FOR HILLSBOROUGH COUNTY, FLORIDA PROBATE DIVISION FILE NO: 2024-CP-000559 IN RE: ESTATE OF REGINA A. RAMALHEIRA, DECEASED.

The administration of the estate of REGINA A. RAMALHEIRA, deceased, whose date of death was December 12, 2023, is pending in the Circuit Court for Hillsborough County, Florida, Probate Division, the address of which is 800 E. Twiggs Street, Tampa, FL 33602. The name and address of the Personal Representative and the Personal Representative’s attorney are set forth below. All creditors of the decedent and other persons having claims or demands against decedent’s estate on whom a copy of this notice is required to be served must file their claims with this Court ON OR BEFORE THE LATER OF 3 MONTHS AFTER THE TIME OF THE FIRST PUBLICATION OF THIS NOTICE OR 30 DAYS AFTER THE DATE OF SERVICE OF A COPY OF THIS NOTICE ON THEM.

All other creditors of the decedent and other persons having claims or demands against decedent’s estate must file their claims with this Court WITHIN 3 MONTHS AFTER THE DATE OF THE FIRST PUBLICATION OF THIS NOTICE.

ALL CLAIMS NOT FILED WITHIN THE TIME PERIODS SET FORTH IN FLORIDA STATUTES SECTION 733.702 WILL BE FOREVER BARRED.

NOTWITHSTANDING THE TIME PERIODS SET FORTH ABOVE, ANY CLAIM FILED TWO (2) YEARS OR MORE AFTER THE DECEDENT’S DATE OF DEATH IS BARRED.

The date of first publication of this notice is June 21, 2024. Personal Representative: /s/ ROBERT PETRON 31542 Bearded Oak Drive Wesley Chapel, Florida 33543

Attorney for Estate: /s/ PAUL KNUDSEN, ESQUIRE Paul Knudsen, P.A. 10863 Park Boulevard, Suite 5 Seminole, FL 33772

Telephone: (727) 398-3600

June 21, 28, 2024 24-01879H

FIRST INSERTION NOTICE TO CREDITORS IN THE CIRCUIT COURT OF THE HILLSBOROUGH COUNTY, FLORIDA PROBATE DIVISION File Number: 24-CP-001695 Division: A IN RE: Estate of DIANE F. HARRIS, Deceased,

The administration of the estate of DIANE F. HARRIS, deceased, whose date of death was March 28, 2024, is pending in the Circuit Court for Hillsborough County Florida, Probate Division, File Number 24-CP001695, Division A the address of which is Edgecomb Courthouse, 800 E. Twiggs Street Tampa, FL 33602.

The names and addresses of the personal representative and the personal representative’s attorney are set forth below.

All creditors of the decedent and other persons, who have claims or demands against decedent’s estate, including unmatured, contingent or unliquidated claims, and who have been served a copy of this notice, must file their claims with this court WITHIN THE LATER OF THREE (3) MONTHS AFTER THE DATE OF THE FIRST PUBLICATION OF THIS NOTICE OR THIRTY (30) DAYS AFTER THE DATE OF SERVICE OF A COPY OF THIS NOTICE ON THEM.

All other creditors of the decedent and other persons who have claims or demands against the decedent’s estate, including unmatured, contingent or unliquidated claims, must file their claims with this court WITHIN THREE (3) MONTHS AFTER THE DATE OF THE FIRST PUBLICATION OF THIS NOTICE.

ALL CLAIMS NOT SO FILED WILL BE FOREVER BARRED. NOTWITHSTANDING THE TIME PERIODS SET FORTH ABOVE, ANY CLAIM FILED TWO (2) YEARS OR MORE AFTER THE DECEDENT’S DATE OF DEATH IS BARRED.

FIRST DATE OF PUBLICATION OF THIS NOTICE IS: June 21, 2024.

Personal Representative: Nancy B. Armstrong 7301 Redge Rainey Road Ona, FL 33865

Attorney for Personal Representative: /s/ Robert L. Sader

Robert L. Sader, Esq.

Florida Bar Number: 145454

Robert L. Sader, P.A.

2900 Oak Tree Drive

Oakland Park, FL 33309

FIRST INSERTION NOTICE TO CREDITORS IN THE CIRCUIT COURT OF THE THIRTEENTH JUDICIAL CIRCUIT IN AND FOR HILLSBOROUGH COUNTY, FLORIDA PROBATE DIVISION FILE NO: 2024-CP-1308 IN RE: ESTATE OF ALBERTHA RICHARDS, DECEASED.

The administration of the Estate of Albertha, deceased, whose date of death was 2/11/2024, Case Number 2024-CP-1308, is pending in the Circuit Court for Hillsborough County, Florida, Probate Division, the address of which is 800 E. Twiggs Street, Tampa, FL 33602; The names and addresses of the Personal Representative and the Personal Representative’s attorney are set forth below.

All creditors of the decedent and other persons having claims or demands against decedent’s Estate on whom a copy of this notice has been served must file their claims with this court WITHIN THE LATER OF 3 MONTHS AFTER THE DATE OF THE FIRST PUBLICATION OF THIS NOTICE OR 30 DAYS AFTER THE TIME OF SERVICE OF A COPY OF THIS NOTICE ON THEM.

All other creditors of the decedent and other persons having claims or demands against decedent’s estate MUST FILE THEIR CLAIMS WITH THIS COURT WITHIN 3 MONTHS AFTER THE DATE OF THE FIRST PUBLICATION OF THIS NOTICE. ALL CLAIMS NOT SO FILED WILL BE FOREVER BARRED.

NOTWITHSTANDING THE TIME PERIOD SET FORTH ABOVE, ANY CLAIM FILED TWO (2) YEARS OR MORE AFTER THE DECEDENT’S DATE OF DEATH IS BARRED.

The date of first publication of this notice is the 21 day of June 2024. Personal Representative: Carol Price 11603 Mansfield Point Dr, Riverview, FL 33569

Attorney for Personal Representative: RACHAEL ALEXANDER, ESQ. Florida Bar Number: 124666 Counsel for Personal Representative Law Office of Elizabeth Devolder, PLLC. 5383 Primrose Lake Circle, Suite C Tampa, FL 33647 (813) 319-4550 (Tel) (813) 319-4550 (fax) elizabeth@elizabethdevolder.com rachael@elizabethdevolder.com

June 21, 28, 2024 24-01881H

FIRST INSERTION NOTICE TO CREDITORS IN THE CIRCUIT COURT FOR HILLSBOROUGH COUNTY, FLORIDA PROBATE DIVISION File No. 24-CP-001886 IN RE: ESTATE OF ELIOT JAMES MISKIMEN, Deceased.

The administration of the estate of ELIOT JAMES MISKIMEN, deceased, whose date of death was April 25, 2024, is pending in the Circuit Court for Hillsborough County, Florida, Probate Division, the address of which is PO Box 1110, Tampa, FL 33601. The names and addresses of the personal representative and the personal representative’s attorney are set forth below.

All creditors of the decedent and other persons having claims or demands against decedent’s estate, on whom a copy of this notice is required to be served, must file their claims with this court ON OR BEFORE THE LATER OF 3 MONTHS AFTER THE TIME OF THE FIRST PUBLICATION OF THIS NOTICE OR 30 DAYS AFTER THE DATE OF SERVICE OF A COPY OF THIS NOTICE ON THEM.

All other creditors of the decedent and other persons having claims or demands against decedent’s estate must file their claims with this court WITHIN 3 MONTHS AFTER THE DATE OF THE FIRST PUBLICATION OF THIS NOTICE.

ALL CLAIMS NOT FILED WITHIN THE TIME PERIODS SET FORTH IN FLORIDA STATUTES SECTION 733.702 WILL BE FOREVER BARRED.

NOTWITHSTANDING THE TIME PERIOD SET FORTH ABOVE, ANY CLAIM FILED TWO (2) YEARS OR MORE AFTER THE DECEDENT’S DATE OF DEATH IS BARRED.

The date of first publication of this notice is: June 21, 2024. HELEN VLADIMIROVNA MISKIMEN Personal Representative 4716 Deerwalk Avenue Tampa, FL 33624

Robert D. Hines, Esq. Attorney for Personal Representative Florida Bar No. 0413550

Hines Norman Hines, P.L. 1312 W. Fletcher Avenue, Suite B Tampa, FL 33612

Telephone: 813-265-0100

FIRST INSERTION NOTICE TO CREDITORS IN THE CIRCUIT COURT FOR HILLSBOROUGH COUNTY, FLORIDA PROBATE DIVISION File No. 24-CP-000929

Division B IN RE: ESTATE OF JAMES THOMAS Deceased. The administration of the estate of James Thomas, deceased, whose date of death was November 16, 2023, is pending in the Circuit Court for Hillsborough County, Florida, Probate Division, the address of which is P.O. Box 3360 Tampa, FL 33601. The names and addresses of the personal representative and the personal representative’s attorney are set forth below. All creditors of the decedent and other persons having claims or demands against decedent’s estate on whom a copy of this notice is required to be served must file their claims with this court ON OR BEFORE THE LATER OF 3 MONTHS AFTER THE TIME OF THE FIRST PUBLICATION OF THIS NOTICE OR 30 DAYS AFTER THE DATE OF SERVICE OF A COPY OF THIS NOTICE ON THEM. All other creditors of the decedent and other persons having claims or demands against decedent’s estate must file their claims with this court WITHIN 3 MONTHS AFTER THE DATE OF THE FIRST PUBLICATION OF THIS NOTICE.

ALL CLAIMS NOT FILED WITHIN THE TIME PERIODS SET FORTH IN FLORIDA STATUTES SECTION 733.702 WILL BE FOREVER BARRED.

NOTWITHSTANDING THE TIME PERIODS SET FORTH ABOVE, ANY CLAIM FILED TWO (2) YEARS OR MORE AFTER THE DECEDENT’S DATE OF DEATH IS BARRED. The date of first publication of this notice is June 21, 2024.

Personal Representative: /s/ Fidencia Thomas 1203 Lake Shore Ranch Drive Seffner, Florida 33584 Attorney for Personal Representative: /s/ Rodolfo Suarez Jr. Esq., Attorney Florida Bar Number: 013201 9100 South Dadeland Blvd, Suite 1620 Miami, Florida 33156 Telephone: 305-448-4244 E-Mail: rudy@suarezlawyers.com

June 21, 28, 2024 24-01883H

FIRST INSERTION NOTICE TO CREDITORS IN THE CIRCUIT COURT FOR THE THIRTEENTH JUDICIAL CIRCUIT, IN AND FOR HILLSBOROUGH COUNTY, FLORIDA, PROBATE DIVISION File No. 24-CP-000276 IN RE: ESTATE OF MARJORIE ANITA AKRIDGE, Deceased. The administration of the estate of MARJORIE ANITA AKRIDGE, Case No. 24-CP-000276, is pending in the Circuit Court for Sarasota County, Florida, Probate Division, the address of which is is pending in the Circuit Court for Hillsborough County, Florida, Probate Division, the address of which is 800 East Twiggs Street, Tampa, FL 33602. The names and addresses of the personal representative and the personal representative’s attorney are set forth below. All creditors of the decedent and other persons having claims or demands against decedent’s estate on whom a copy of this notice is required to be served must file their claims with this court WITHIN THE LATER OF 3 MONTHS AFTER THE TIME OF THE FIRST PUBLICATION OF THIS NOTICE OR 30 DAYS AFTER THE DATE OF SERVICE OF A COPY OF THIS NOTICE ON THEM. All other creditors of the decedent and other persons having claims or demands against decedent’s estate must file their claims with this court WITHIN THREE MONTHS AFTER THE DATE OF THE FIRST PUBLICATION OF THIS NOTICE. ALL CLAIMS NOT FILED WITHIN THE TIME PERIODS SET FORTH IN SECTION 733.702 OF THE FLORIDA PROBATE CODE WILL BE FOREVER BARRED.

NOTWITHSTANDING THE TIME PERIODS SET FORTH ABOVE, ANY CLAIM FILED TWO (2) YEARS OR MORE AFTER THE DECEDENT’S DATE OF DEATH IS BARRED. The date of the first publication of this Notice is June 21, 2024. Personal Representative: Sheryl Akridge Stokes 8490 North Point Road Manassas, Virginia 20112

Attorney for Personal Representative: Taso M. Milonas

Florida Bar No. 469858

Taso M. Milonas, P.A. 1348 Fruitville Road, Suite 202 Sarasota, Florida 34236

Fax: (727) 234-8024

E-Mail: ashly@atcauselaw.com

Secondary E-Mail: abby@atcauselaw.com June 21, 28, 2024 24-01882H

Tel. (954) 776-7004

Fax (954) 938-4409

E-mail: robertlsader@gmail.com

June 21, 28, 2024 24-01880H

Email: rhines@hnh-law.com

Secondary Email: jrivera@hnh-law.com June 21, 28, 2024 24-01878H

Telephone: (941) 954-5410 Facsimile: (941) 954-5490 Primary E-mail: tmilonas@wealthlawgroup.com Secondary E-mail: service@wealthlawgroup.com June 21, 28, 2024 24-01886H

JUNE 21 - JUNE 27, 2024 BUSINESS OBSERVER
--- ESTATE ---
HILLSBOROUGH COUNTY 20

FIRST INSERTION

NOTICE TO CREDITORS IN THE CIRCUIT COURT FOR HILLSBOROUGH COUNTY, FLORIDA

PROBATE DIVISION

File No. 24-CP-001629

IN RE: ESTATE OF ROBERT GRAY TAYLOR

a/k/a BOB GRAY TAYLOR, Deceased.

The administration of the estate of ROBERT GRAY TAYLOR a/k/a BOB GRAY TAYLOR, deceased, whose date of death was February 25, 2024, and whose social security number is xxxxx-5468, is pending in the Circuit Court for Hillsborough County, Florida, Probate Division, the address of which is Hillsborough County Courthouse, 800 E. Twiggs Street, Tampa, FL 33602. The names and addresses of the personal representative and the personal representative’s attorney are set forth below.

All creditors of the decedent and other persons having claims or demands against decedent’s estate on whom a copy of this notice is required to be served must file their claims with this court WITHIN THE LATER OF 3 MONTHS AFTER THE TIME OF THE FIRST PUBLICATION OF THIS NOTICE OR 30 DAYS AFTER THE DATE OF SERVICE OF A COPY OF THIS NOTICE ON THEM.

All other creditors of the decedent and other persons having claims or demands against decedent’s estate must file their claims with this court WITHIN 3 MONTHS AFTER THE DATE OF THE FIRST PUBLICATION OF THIS NOTICE.

ALL CLAIMS NOT FILED WITHIN THE TIME PERIODS SET FORTH IN SECTION 733.702 OF THE FLORIDA PROBATE CODE WILL BE FOREVER BARRED.

NOTWITHSTANDING THE TIME PERIODS SET FORTH ABOVE, ANY CLAIM FILED TWO (2) YEARS OR MORE AFTER THE DECEDENT’S DATE OF DEATH IS BARRED.

The date of first publication of this notice is June 21, 2024.

Personal Representative: RICHARD TAYLOR 23750 Gill Road Farmington, MI 48335

Attorney for Personal Representative: Jaimon H. Perry, Esq.

Attorney for RICHARD TAYLOR

Florida Bar Number: 0514020 THE PERRY LAW GROUP LLC

37 North Orange Avenue, Suite 500 Orlando, FL 32801

Telephone: (407) 323-2121

Fax: (321) 249-0587

E-Mail: jperry@perrylawfla.com

June 21, 28, 2024 24-01904H

FIRST INSERTION

NOTICE TO CREDITORS IN THE CIRCUIT COURT FOR HILLSBOROUGH COUNTY, FLORIDA

PROBATE DIVISION File No. 24-CP-001944

Division A IN RE: ESTATE OF DIETER PETER SCHWALBE a/k/a DIETER P. SCHWALBE, Deceased.

The administration of the estate of DIETER PETER SCHWALBE a/k/a DIETER P. SCHWALBE, deceased, whose date of death was August 26, 2023, is pending in the Circuit Court for Hillsborough County, Florida, Probate Division, the address of which is P.O. Box 1110, Tampa, FL 33601-1110. The names and addresses of the personal representative and the personal representative’s attorney are set forth below. All creditors of the decedent and other persons having claims or demands against decedent’s estate, on whom a copy of this notice is required to be served, must file their claims with this court ON OR BEFORE THE LATER OF 3 MONTHS AFTER THE TIME OF THE FIRST PUBLICATION OF THIS NOTICE OR 30 DAYS AFTER THE DATE OF SERVICE OF A COPY OF THIS NOTICE ON THEM.

All other creditors of the decedent and other persons having claims or demands against decedent’s estate must file their claims with this court WITHIN 3 MONTHS AFTER THE DATE OF THE FIRST PUBLICATION OF THIS NOTICE.

ALL CLAIMS NOT FILED WITHIN THE TIME PERIODS SET FORTH IN FLORIDA STATUTES SECTION 733.702 WILL BE FOREVER BARRED. NOTWITHSTANDING THE TIME PERIOD SET FORTH ABOVE, ANY CLAIM FILED TWO (2) YEARS OR MORE AFTER THE DECEDENT’S DATE OF DEATH IS BARRED.

The date of first publication of this notice is June 21, 2024

DOROTHY SCHWALBE

Personal Representative

1150 Emerald Dunes Drive Sun City Center, FL 33573

JAMES P. HINES, JR.

Attorney for Personal Representative

Florida Bar No. 061492

Hines Norman Hines, P.L.

315 S. Hyde Park Ave. Tampa, FL 33606

Telephone: 813-251-8659

Email: jhinesjr@hnh-law.com

Secondary Email: mgreco@hnh-law.com

June 21, 28, 2024 24-01928H

FIRST INSERTION NOTICE TO CREDITORS IN THE CIRCUIT COURT FOR HILLSBOROUGH COUNTY, FLORIDA PROBATE DIVISION File No. 24-CP-001819 IN RE: ESTATE OF MAGGIE LEE WILLIAMS, Deceased. The administration of the estate of MAGGIE LEE WILLIAMS, deceased, whose date of death was April 24, 2024, is pending in the Circuit Court for Hillsborough County, Florida, Probate Division, the address of which is P.O. Box 1110 Tampa, FL 33601. The name and address of the personal representative and the personal representative’s attorney are set forth below. All creditors of the decedent and other persons having claims or demands against decedent’s estate, on whom a copy of this notice is required to be served, must file their claims with this court ON OR BEFORE THE LATER OF 3 MONTHS AFTER THE TIME OF THE FIRST PUBLICATION OF THIS NOTICE OR 30 DAYS AFTER THE DATE OF SERVICE OF A COPY OF THIS NOTICE ON THEM.

All other creditors of the decedent and other persons having claims or demands against decedent’s estate must file their claims with this court WITHIN 3 MONTHS AFTER THE DATE OF THE FIRST PUBLICATION OF THIS NOTICE.

ALL CLAIMS NOT FILED WITHIN THE TIME PERIODS SET FORTH IN FLORIDA STATUTES SECTION 733.702 WILL BE FOREVER BARRED

NOTWITHSTANDING THE TIME PERIOD SET FORTH ABOVE, ANY CLAIM FILED TWO (2) YEARS OR MORE AFTER THE DECEDENT’S DATE OF DEATH IS BARRED.

The date of first publication of this notice is: June 21, 2024.

GREGORY WILLIAMS Personal Representative 3312 New Orleans Avenue Tampa, FL 33614

ROBERT D. HINES

Florida Bar No. 413550

ASHLEY G. FRIEDRICH Florida Bar No. 1007955

Attorneys for Personal Representative Hines Norman Hines, P.L. 315 South Hyde Park Avenue Tampa, FL 33606 Telephone: 813-251-8659 Email: rhines@hnh-law.com

Secondary Email: afriedrich@hnh-law.com June 21, 28, 2024 24-01937H

FIRST INSERTION NOTICE TO CREDITORS IN THE CIRCUIT COURT FOR HILLSBOROUGH COUNTY, FLORIDA PROBATE DIVISION File No. 24-cp-1916

Division PROBATE IN RE: ESTATE OF JONATHAN HOUGHTON CLIFFORD, Deceased.

The administration of the estate of JONATHAN HOUGHTON CLIFFORD, deceased, whose date of death was May 11th. 2024; File Number 24-CP-1916, is pending in the Circuit Court for Hillsborough County, Florida, Probate Division, the address of which is 800 E. Twiggs Street; Tampa, FL 33602. The names and addresses of the Personal Representative and the Personal Representative’s attorney are set forth below. All creditors of the decedent and other persons having claims or demands against decedent’s estate, on whom a copy of this notice is served must file their claims with this court WITHIN THE LATER OF 3 MONTHS AFTER THE DATE OF THE FIRST PUBLICATION OF THIS NOTICE OR 30 DAYS AFTER THE DATE OF SERVICE OF A COPY OF THIS NOTICE ON THEM. All other creditors of the decedent and other persons having claims or demands against the decedent’s estate must file their claims with this court WITHIN 3 MONTHS AFTER THE DATE OF THE FIRST PUBLICATION OF THIS NOTICE. ALL CLAIMS NOT FILED WITHIN THE TIME PERIODS SET FORTH IN SECTION 733.702 OF THE FLORIDA PROBATE CODE WILL BE FOREVER BARRED. NOTWITHSTANDING THE TIME PERIODS SET FORTH ABOVE, ANY CLAIM FILED TWO (2) YEARS OR MORE AFTER THE DECEDENT’S DATE OF DEATH IS BARRED.

The date of first publication of this Notice is Friday, June 21st, 2024.

Personal Representatives: Willow F. Taplin 6109 Galleon Way Tampa, FL 33615

Attorney for Personal Representative: Tracy Stape Atkinson, Esq.

HILLSBOROUGH COUNTY 21

FIRST INSERTION Summons STATE OF WISCONSIN CIRCUIT COURT

OZAUKEE COUNTY

Case No. 2023CV000404

Judge Sandy A. Williams

Foreclosure of Mortgage: 30404

Wells Fargo Bank, N.A., as Trustee for Carrington Mortgage Loan Trust Series 2006-RFC1

Asset-Backed Pass-Through Certificates 1600 South Douglass Road, Suite 200-A Anaheim, CA 92806

Plaintiff, v.

HSBC Mortgage Services Inc. 636 Grand Regency Blvd. Brandon, FL 33510

Defendant.

THE STATE OF WISCONSIN,

To each person named above as a defendant:

You are hereby notified that the Plaintiff named above has filed a lawsuit or other legal action against you. The amended complaint, which is also served upon you, states the nature and basis of the legal action.

Within 40 days after June 21, 2024 you must respond with a written answer, as that term is used in chapter 802 of the Wisconsin Statutes, to the amended complaint. The court may reject or disregard an answer that does not follow the requirements of the statutes. The answer must be sent or delivered to the court, whose address is Ozaukee County Courthouse 1201 S. Spring St., Port Washington, WI 530740994, and to Codilis, Moody & Circelli, P.C., plaintiff’s attorneys, whose address is 15W030 North Frontage Road, Suite 200, Burr Ridge, IL 60527. You may have an attorney help or represent you.

If you do not provide a proper answer within 40 days, the court may grant judgment against you for the award of money or other legal action requested in the amended complaint, and you may lose your right to object to anything that is or may be incorrect in the amended complaint. A judgment may be enforced as provided by law. A judgment awarding money may become a lien against any real estate you own now or in the future, and may also be enforced by garnishment or seizure of property.

Dated: June 14, 2024.

Codilis, Moody & Circelli, P.C.

Attorneys for Plaintiff

Electronically signed by Shawn R. Hillmann WI State Bar No. 1037005 Emily Thoms WI State Bar No. 1075844

Codilis, Moody & Circelli, P.C. 15W030 North Frontage Road, Suite 200 Burr Ridge, IL 60527 (414) 775-7700 pleadings@il.cslegal.com

50-23-01330

NOTE: This law firm is a debt collector. June 21, 28; July 5, 2024 24-01907H

FIRST INSERTION

NOTICE OF ACTION FOR DISSOLUTION OF MARRIAGE (NO CHILD OR FINANCIAL SUPPORT) IN THE CIRCUIT COURT OF THE THIRTEENTH JUDICIAL CIRCUIT, IN AND FOR HILLSBOROUGH COUNTY, FLORIDA

Case No.: 24-DR-002668 Division: B-P

Hiroko Watanabe, Petitioner, and Takao Watanabe, Respondent, TO: Takao Watanabe 2-16-16 Yawata, Ichikawa, Japan

YOU ARE NOTIFIED that an action for dissolution of marriage has been filed against you and that you are required to serve a copy of your written defenses, if any, to it on Hiroko Watanabe, whose address is 502 San Jose Place, Temple Terrace, FL 33617 on or before 7/22/24, and file the original with the clerk of this Court at 419 N Pierce St, Tampa, FL 33602 before service on Petitioner or immediately thereafter. If you fail to do so, a default may be entered against you for the relief demanded in the petition.

The action is asking the court to decide how the following real or personal property should be divided: 502 San Jose Place, Temple Terrace, FL 33617, Hillsborough County

Copies of all court documents in this case, including orders, are available at the Clerk of the Circuit Court’s office. You may review these documents upon request.

You must keep the Clerk of the Circuit Court’s office notified of your current address. (You may file Designation of Current Mailing and E-Mail Address, Florida Supreme Court Approved Family Law Form 12.915.) Future papers in this lawsuit will be mailed or e-mailed to the address(es) on record at the clerk’s office.

WARNING: Rule 12.285, Florida Family Law Rules of Procedure, requires certain automatic disclosure of documents and information. Failure to comply can result in sanctions, including dismissal or striking of pleadings.

Dated: 6/14/2024

CLERK OF THE CIRCUIT COURT

FIRST INSERTION

NOTICE OF FORECLOSURE SALE IN THE THIRTEENTH

JUDICIAL CIRCUIT COURT IN AND FOR HILLSBOROUGH COUNTY, FLORIDA

Civil Action 22- CA-005257

KATRINA L. IRWIN, as Successor Trustee of the Ronald L. Irwin Revocable Trust under agreement dated 1 July 1989, plaintiff, vs. HOME FORECLOSURE DEFENSE, LLC, a dissolved Florida limited liability company; the UNKNOWN TENANTS of Home Foreclosure Defense, LLC, if any, and their heirs, devisees, grantees, assignees, lienors, creditors, trustees, successors, and assigns; REGIONS BANK; THE CITY OF TAMPA, FLORIDA; HILLSBOROUGH COUNTY, FLORIDA MARONDA HOMES, LLC. OF FLORIDA, a Florida limited liability company, and SARA S. HAYDON and ROGERS K. HAYDON, JR. as co- trustees of the Sara S. Haydon Family Trust dated October 1, 2008, defendants.

NOTICE IS HEREBY GIVEN pursuant to the Final Judgment dated the 14th day of May 2024, and entered in Case No. 22-CA-005257 of the Circuit Court of the Thirteenth Judicial Circuit in and for Hillsborough County, Florida., I will sell to the highest and best bidder for cash., the following described property as set forth in said Final Judgment, towit:

PROPERTY: SYMMES GROVE

SUBDIVISION TRACT JOPEN, according to the map or plat thereof as recorded in Plat Book 93, page 67, Public Records of Hillsborough County, Florida. The judicial sale will be conducted electronically on line at the following website: http://www.hillsborough. realforeclose.com at 10:00 a.m. on the 25th day of July 2024. Any person claiming an interest in the surplus from the sale, if any, other than the property owner as of the date of the lis pendens must file a claim before the clerk reports the surplus as unclaimed

PERSONS WITH DISABILITIES IN HILLSBOROUGH COUNTY

If you are a person with a disability who needs an accommodation, you are entitled, at no cost to you, to the provision of certain assistance. To request such an accommodation please contact the Clerk’s ADA Coordinator within seven working days of the date the service is needed: if you are hearing or voice impaired, call 711.

Clerk of Court & Comptroller’s Office ADA Coordinator 601 E Kennedy Blvd, Tampa, FL 33602

813.276.8100, ext 7039

DATED, this 17th day of June 2024. WOODS & WOODS, P. A. Attorneys for the plaintiff by: /s/ T. Michael Woods June 21, 28, 2024 24-01916H

FIRST INSERTION

NOTICE OF ACTION IN THE COUNTY COURT OF THE THIRTEENTH JUDICIAL CIRCUIT, IN AND FOR HILLSBOROUGH COUNTY, FLORIDA CASE NO. 2023CC-113794

DIVISION: J JENNIFER GRAY, Plaintiff, vs. STEPHANIE PINEDA and ALEJANDRO PINEDA, Defendants. TO: STEPHANIE PINEDA and ALEJANDRO PINEDA 11340 HUDSON HILLS LN. RIVERVIEW, FL, 33579

YOU ARE NOTIFIED that a lawsuit has been filed against in the County Court of the Thirteenth Judicial Circuit, in and for Hillsborough County, Florida and that you are required to serve a copy of your written defenses, if any, to Robert H. Van Hart, the Plaintiff’s Attorney, whose address is 1742 East Edgewood Drive, Lakeland, Florida 33803, on or before July 12, 2024, and file the original with the Clerk of this Court, 800 E. Twiggs St., P.O. Box 3360, Tampa, FL 33601 either before service on the Plaintiff’s Attorney or immediately thereafter. If you fail to do so, a default may be entered against you for the relief demanded in the Complaint. Copies of all court documents in this case, including orders, are available at the Clerk of the Circuit Court’s office. You may review these documents upon request. You must keep the Clerk of the Circuit Court’s office notified of your current address. (You may file Notice of Current Address, Florida Family Law Form 12.915). Future papers in this lawsuit will be mailed to the address on record at the clerk’s office.

WITNESS

NOTICE OF ACTION IN THE CIRCUIT COURT OF THE THIRTEENTH JUDICIAL CIRCUIT IN AND FOR HILLSBOROUGH COUNTY, FLORIDA CASE NO.: 24-CA-002065

DIVISION: O PENNYMAC LOAN SERVICES, LLC, Plaintiff, v. RACHEL ALEJANDRO, et al., Defendants.

TO: Rachel Alejandro 17009 Oval Rum Drive Wimauma FL 33598

Unknown Spouse of Rachel Alejandro 17009 Oval Rum Drive Wimauma FL 33598

YOU ARE HEREBY NOTIFIED that an action to foreclose a mortgage on the following described property in Hillsborough County, Florida: Lot 27, Block 5, FOREST BROOKE PHASE 4B, according to the plat as recorded in Plat Book 140 Pages 33 of the Public Records of Hillsborough County, Florida. has been filed against you and you are required to serve a copy of your written defenses, if any, on Anthony R. Smith, Esquire, the Plaintiff’s attorney, whose address is Tiffany & Bosco, P.A., 1201 S. Orlando Ave, Suite 430, Winter Park, FL 32789, on or before thirty (30) days from the date of first publication of this

NOTICE OF ACTION IN THE CIRCUIT COURT OF THE 13TH JUDICIAL CIRCUIT, IN AND FOR HILLSBOROUGH COUNTY, FLORIDA CIVIL DIVISION CASE NO.: 24-CA-004201

DIVISION: B U.S. BANK NATIONAL ASSOCIATION, Plaintiff, vs. UNKNOWN HEIRS, BENEFICIARIES, DEVISEES, ASSIGNEES, LIENORS, CREDITORS, TRUSTEES AND ALL OTHERS WHO MAY CLAIM AN INTEREST IN THE ESTATE OF WILLARD WARREN, et al., Defendants. TO: UNKNOWN HEIRS, BENEFICIARIES, DEVISEES, ASSIGNEES, LIENORS, CREDITORS, TRUSTEES AND ALL OTHERS WHO MAY CLAIM AN INTEREST IN THE ESTATE OF WILLARD WARREN YOU ARE NOTIFIED that an action for Foreclosure of Mortgage on the following described property: LOT 18, AND THE NORTH 13 FEET OF LOT 19, BLOCK 2, RANCH LAKE ESTATES UNIT 1, ACCORDING TO THE PLAT THEREOF, AS RECORDED IN PLAT BOOK 39, PAGE 9, OF THE PUBLIC RECORDS OF HILLSBOROUGH COUNTY, FLORIDA. has been filed against you and you are required to serve a copy of your written defenses, if any, to it, on De Cubas & Lewis, P.A., Attorney for Plaintiff, whose address is PO BOX 5026, CORAL SPRINGS, FL 33310 on or before JULY 23, 2024, a date at least thirty (30) days after the first publication of this Notice in the (Please publish in BUSINESS OBSERVER) and file the

Notice, and file the original with the Clerk of this Court either before service on the Plaintiff’s attorney or immediately thereafter; or a default will be entered against you for the relief demanded in the complaint. If you

original with the Clerk of this Court either before service on Plaintiff’s attorney or immediately thereafter; otherwise a default will be entered against you for the relief demanded in the complaint. If you are a person with a disability who needs an accommodation in order to access court facilities or participate in a court proceeding, you are entitled, at no cost to you, to the provision of certain assistance. To request such an accommodation, please contact the Administrative Office of the Court as far in advance as possible, but preferably at least (7) days before your scheduled court appearance or other court activity of the date the service is needed: Complete the Request for Accommodations Form and submit to 800 E. Twiggs Street, Room 604 Tampa, FL 33602. Please review FAQ’s for answers to many questions. You may contact the Administrative Office of the Courts ADA Coordinator by letter, telephone or e-mail: Administrative Office of the Courts, Attention: ADA Coordinator, 800 E. Twiggs Street, Tampa, FL 33602, Phone: 813-272-7040, Hearing Impaired: 1-800-955-8771, Voice impaired: 1-800-955-8770, e-mail: ADA@fljud13.org WITNESS my hand and the seal of this Court this 17 day of JUNE, 2024. CINDY STUART As Clerk of the Court Hillsborough County Courthouse 800 E. Twiggs St. Tampa, FL 33602 (SEAL) By /s/ Isha Tirado-Baker As Deputy Clerk De Cubas & Lewis, P.A. Attorney for Plaintiff PO BOX 5026 CORAL SPRINGS, FL 33310 24-01547 June 21, 28, 2024 24-01931H

JUNE 21 – JUNE 27, 2024 BusinessObserverFL.com
--- ACTIONS / SALES
FIRST INSERTION FIRST INSERTION
---
--- ESTATE ---
are a person with a disability who needs any accommodation in order to access court facilities or participate in a court proceeding, you are entitled, at no cost to you, to the provision of certain assistance. To request such assistance, please contact the 13th Judicial Circuit Court’s ADA Coordinator at least seven days before your scheduled court appearance, or immediately upon receiving this notification if the time before the scheduled appearance is less that seven days. If you are hearing or voice impaired, call 711. IN WITNESS WHEREOF, I have hereunto set my hand and affixed the official seal of said Court at Hillsborough County, Florida, this 5 day of JUNE, 2024. Cindy Stuart as Clerk of the Circuit Court of Hillsborough County, Florida (SEAL) By: /s/ Isha Tirado-Baker DEPUTY CLERK Anthony R. Smith, Esquire the Plaintiff’s attorney Tiffany & Bosco, P.A. 1201 S. Orlando Ave, Suite 430 Winter Park, FL 32789 June 21, 28, 2024 24-01870H
Conformed
Joelle Ann Ober SENIOR JUDGE COUNTY COURT JUDGE June 21, 2024 24-01908H
my hand and Seal of this Court on, 2024. Electronically
6/13/2024
Florida Bar No. 64777
E. Jackson St., Suite 2340 Tampa, Fl 33602 Phone: 813-751-2666 June 21, 28, 2024 24-01922H
401
(SEAL) By: /s/ Deputy Clerk June 21, 28; July 5, 12, 2024 24-01923H
Email legal@businessobserverfl.com • We offer an online payment portal for easy credit card payment • Service includes us e-filing your affidavit to the Clerk’s office on your behalf LEGAL NO PUBLISH YOUR We publish all Public sale, Estate & Court-related notices LV20878_V10

NOTICE OF ACTION IN THE CIRCUIT COURT OF THE THIRTEENTH JUDICIAL CIRCUIT IN AND FOR HILLSBOROUGH COUNTY, FLORIDA Case No.: 23-CA-016867 NEWREZ LLC D/B/A SHELLPOINT MORTGAGE SERVICING, Plaintiff, v. UNKNOWN HEIRS, CREDITORS, DEVISEES, BENEFICIARIES, GRANTEES, ASSIGNEES, LIENORS, TRUSTEES, AND ALL OTHER PARTIES CLAIMING AN INTEREST BY, THROUGH, UNDER OR AGAINST THE ESTATE OF MICHAEL L. DANIELS, DECEASED; FAITH HERNANDEZ; EVA PHILLIPS; KEVIN DANIELS; MICHELLE WALKER; ALL UNKNOWN PARTIES CLAIMING INTERESTS BY, THROUGH, UNDER OR AGAINST A NAMED DEFENDANT TO THIS ACTION, OR HAVING OR CLAIMING TO HAVE ANY RIGHT, TITLE OR INTEREST IN THE PROPERTY HEREIN DESCRIBED, Defendant. To the following Defendant(s):

EVA PHILLIPS (LAST KNOWN ADDRESS) 605 LINDENVIEW LN SEFFNER, FL 33584

KEVIN DANIELS (LAST KNOWN ADDRESS)

733 HOLLY TERRACE BRANDON, FL 33511

YOU ARE NOTIFIED that an action for Foreclosure of Mortgage on the following described property: LOT 20, BLOCK 7, PLANTATION ESTATES UNIT NO. 4, ACCORDING TO THE MAP OR PLAT THEREOF AS RECORDED IN PLAT BOOK 40,

NOTICE OF FORECLOSURE SALE IN THE CIRCUIT COURT FOR THE THIRTEENTH JUDICIAL CIRCUIT

IN AND FOR HILLSBOROUGH COUNTY, FLORIDA CIRCUIT CIVIL DIVISION CASE NO.: 18-CA-009192

EAGLE HOME MORTGAGE, LLC

F/K/A UNIVERSAL AMERICAN MORTGAGE COMPANY LLC

Plaintiff(s), vs. STERLING SMITH; et al., Defendant(s). NOTICE IS HEREBY GIVEN THAT, pursuant to Plaintiff’s Final Judgment of Foreclosure entered on May 21, 2024 in the above-captioned action, the Clerk of Court, Cindy Stuart, will sell to the highest and best bidder for cash at www.hillsborough.realforeclose.com in accordance with Chapter 45, Florida

Statutes on the 24th day of July, 2024 at 10:00 AM on the following described property as set forth in said Final Judgment of Foreclosure or order, to wit: Lot 84, of Hawks Point Phase S-1, according to the plat thereof, as recorded in Plat Book 122, Page 3, of the Public Records of Hillsborough County, Florida. Property address: 2370 Dovesong Trace Drive, Ruskin, FL 33570

Any person claiming an interest in the surplus from the sale, if any, other than the property owner as of the date of the lis pendens, must file a claim before the clerk reports the surplus as unclaimed. Pursuant to the Fla. R. Jud. Admin. 2.516, the above signed counsel for Plaintiff designates attorney@ padgettlawgroup.com as its primary email address for service, in the above styled matter, of all pleadings and documents required to be served on the parties. AMERICANS WITH DISABIL-

NOTICE OF ACTION IN THE CIRCUIT COURT OF THE 13TH JUDICIAL CIRCUIT, IN AND FOR HILLSBOROUGH COUNTY, FLORIDA

Case No.: 24-CA-003588 Division: C GREENSPRING CAPITAL MANAGEMENT, LLC, NOT IN ITS INDIVIDUAL CAPACITY, BUT SOLELY AS ADMINISTRATOR OF RMH 2023-2 TRUST, Plaintiff, vs. ALL UNKNOWN HEIRS, CREDITORS, DEVISEES, BENEFICIARIES, GRANTEES, ASSIGNEES, LIENORS, TRUSTEES, AND ALL OTHER PARTIES CLAIMING AN INTEREST BY, THROUGH, UNDER, OR AGAINST JANE T. BROWN, SUN CITY CENTER COMMUNITY ASSOCIATION, INC., UNKNOWN TENANT #1, UNKNOWN TENANT #2, Defendants.

To: All Unknown Heirs, Creditors, Devisees, Beneficiaries, Grantees, As-

HILLSBOROUGH COUNTY

PAGE 46 OF THE PUBLIC RECORDS OF HILLSBOROUGH COUNTY, FLORIDA. a/k/a 733 Holly Ter, Brandon, FL 33511 has been filed against you and you are required to serve a copy of your written defenses, if any, upon Kelley Kronenberg, Attorney for Plaintiff, whose address is 10360 West State Road 84, Fort Lauderdale, FL 33324 on or before 07/01/2024, a date which is within thirty (30) days after the first publication of this Notice in Business Observer and file the original with the Clerk of this Court either before service on Plaintiff’s attorney or immediately thereafter; otherwise a default will be entered against you for the relief demanded in the complaint. This notice is provided pursuant to Administrative Order No. 2.065. If you are a person with a disability who needs any accommodation in order to participate in this proceeding, you are entitled, at no cost to you, to the provision of certain assistance. Please contact the Court’s ADA Coordinator, Hillsborough County Courthouse, 800 E. Twiggs St., Room 604, Tampa, Florida 33602, (813) 272-7040, at least 7 days before your scheduled court appearance, or immediately upon receiving this notification if the time before the scheduled appearance is less than 7 days; if you are hearing or voice impaired, call 711. WITNESS my hand and the seal of this Court this day of MAY 23 2024. As Clerk of the Court (SEAL) By /s/ Patricia Corbin As Deputy Clerk Kelley Kronenberg

Attorney for Plaintiff 10360 West State Road 84 Fort Lauderdale, FL 33324 June 21, 28, 2024 24-01897H

ITY ACT: IF YOU ARE A PERSON WITH A DISABILITY WHO NEEDS AN ACCOMMODATION IN ORDER TO ACCESS COURT FACILITIES OR PARTICIPATE IN A COURT PROCEEDING, YOU ARE ENTITLED, AT NO COST TO YOU, TO THE PROVISION OF CERTAIN ASSISTANCE. TO REQUEST SUCH AN ACCOMMODATION, PLEASE CONTACT THE ADMINISTRATIVE OFFICE OF THE COURT AS FAR IN ADVANCE AS POSSIBLE, BUT PREFERABLY AT LEAST (7) DAYS BEFORE YOUR SCHEDULED COURT APPEARANCE OR OTHER COURT ACTIVITY OF THE DATE THE SERVICE IS NEEDED: COMPLETE A REQUEST FOR ACCOMMODATIONS FORM AND SUBMIT TO 800 E. TWIGGS STREET, ROOM 604 TAMPA, FL 33602. PLEASE REVIEW FAQ`S FOR ANSWERS TO MANY QUESTIONS. YOU MAY CONTACT THE ADMINISTRATIVE OFFICE OF THE COURTS ADA COORDINATOR BY LETTER, TELEPHONE OR E-MAIL. ADMINISTRATIVE OFFICE OF THE COURTS, ATTENTION: ADA COORDINATOR, 800 E. TWIGGS STREET, TAMPA, FL 33602. PHONE: 813-2727040; HEARING IMPAIRED: 1-800955-8771; VOICE IMPAIRED: 1-800955-8770; E-MAIL: ADA@FLJUD13. ORG. Respectfully submitted, PADGETT LAW GROUP HEATHER GRIFFITHS, ESQ. Florida Bar # 91444 6267 Old Water Oak Road, Suite 203 Tallahassee, FL 32312 (850) 422-2520 (telephone) (850) 422-2567 (facsimile) attorney@padgettlawgroup.com

Attorney for Plaintiff TDP File No. 18-004275-1 June 21, 28, 2024 24-01930H

signees, Lienors, Trustees, and all other parties claiming an interest by, through, under, or against Jane T. Brown Last Known Address: 604 Ojai Avenue, Sun City Center, Florida 33573 Current Address: 604 Ojai Avenue, Sun City Center, Florida 33573 YOU ARE HEREBY NOTIFIED that an action has been instituted to foreclose a Mortgage covering the following real and personal property described as follows, to wit: Lot 2, Block GG, DEL WEBB’S SUN CITY FLORIDA UNIT NUMBER 30, according to plat thereof as recorded in Plat Book 42, Page 92, of the Public Records of Hillsborough County, Florida. Property Address: 604 Ojai Avenue, Sun City Center, Florida 33573

Each Defendant is required to serve written defenses to the Complaint or Petition on Gary M. Singer, Esq., Law Firm of Gary M. Singer. P.A., Plaintiff’s attorney, whose address is 12 S.E. 7th Street, Ste. 820, Fort Lauderdale, FL 33301, and to file the original of the

NOTICE OF ACTION IN THE CIRCUIT COURT OF THE THIRTEENTH JUDICIAL CIRCUIT IN AND FOR HILLSBOROUGH COUNTY, FLORIDA. CIVIL DIVISION CASE NO. 292024CA002980A001HC DIVISION: RF -Section I NEWREZ LLC D/B/A SHELLPOINT MORTGAGE SERVICING, Plaintiff, vs. SANDRA F. MURPHY; CITIBANK N.A.; KRIS D. HEPLER; SUSAN L. HEPLER; WILDER TRACE HOMEOWNERS ASSOCIATION, INC.; UNKNOWN TENANT NO. 1; UNKNOWN TENANT NO. 2; and ALL UNKNOWN PARTIES CLAIMING INTERESTS BY, THROUGH, UNDER OR AGAINST A NAMED DEFENDANT TO THIS ACTION, OR HAVING OR CLAIMING TO HAVE ANY RIGHT, TITLE OR INTEREST IN THE PROPERTY HEREIN DESCRIBED, Defendant(s). TO: SANDRA MURPHY 2717 WILDER TRACE CT PLANT CITY, FL 33566 TO: UNKNOWN TENANT NO. 1 2717 Wilder Trace Ct Plant City, FL 33566 TO: UNKNOWN TENANT NO. 2 2717 Wilder Trace Ct Plant City, FL 33566

YOU ARE NOTIFIED that an action to foreclose a mortgage on the following described property in Hillsborough County, Florida: LOT 20, WILDER TRACE, ACCORDING TO THE PLAT THEREOF, AS RECORDED IN PLAT BOOK 81, PAGE(S) 5-1, 5-2, AND 5-3, PUBLIC RECORDS OF HILLSBOROUGH

NOTICE OF ACTION IN THE CIRCUIT COURT OF THE THIRTEENTH JUDICIAL CIRCUIT IN AND FOR HILLSBOROUGH COUNTY, FLORIDA CIVIL ACTION CASE NO.: 24-CA-002418 DIVISION: F NATIONSTAR MORTGAGE LLC, Plaintiff, vs. THE UNKNOWN HEIRS, DEVISEES, GRANTEES, ASSIGNEES, LIENORS, CREDITORS, TRUSTEES OR OTHER CLAIMANTS CLAIMING BY, THROUGH, UNDER, OR AGAINST JOANN K. WILSON AKA JOANN KAY WILSON AKA JOANN WILSON DECEASED, et al, Defendant(s).

To: THE UNKNOWN HEIRS, DEVISEES, GRANTEES, ASSIGNEES, LIENORS, CREDITORS, TRUSTEES OR OTHER CLAIMANTS CLAIMING BY, THROUGH, UNDER, OR AGAINST JOANN K. WILSON AKA JOANN KAY WILSON AKA JOANN WILSON DECEASED

Last Known Address: Unknown

Current Address: Unknown

YOU ARE NOTIFIED that an action to foreclose a mortgage on the following property in Hillsborough County, Florida: LOT 6, BLOCK 37, MAP OF THE SUBDIVISION AT SULPHUR SPRINGS, ACCORDING TO MAP OR PLAT THEREOF, AS RECORDED IN PLAT BOOK 1, PAGE 111, PUBLIC RECORDS OF HILLSBOROUGH COUNTY, FLORIDA.

A/K/A 8503 N TALIAFERRO AVE TAMPA FL 33604 has been filed against you and you are required to file written defenses

defenses with the Clerk of this Court, on or before the 30th day following the first publication of this notice JULY 15, 2024, otherwise a Judgment may be entered against you for the relief demanded in the Complaint.

You may also e-mail the written defenses to the Complaint to the following e-mail addresses: service@ garysingerlaw.com and/or singer@ garysingerlaw.com.

This Notice should be published once a week for two consecutive weeks in the Business Observer.

If you are a person with a disability who needs an accommodation in order to access court facilities or participate in a court proceeding, you are entitled, at no cost to you, to the provision of certain assistance. To request such an accommodation, please contact Court Administration at least 7 days before your scheduled court appearance, or immediately upon receiving a notification of a scheduled court proceeding if the time before the scheduled appearance is less than 7 days. Complete the Request for Accommodations Form and submit

COUNTY, FLORIDA. has been filed against you and you are required to serve a copy of your written defenses, if any, to it on Diaz Anselmo & Associates, P.A., Plaintiff’s attorneys, whose address is P.O. BOX 19519, Fort Lauderdale, FL 33318, (954) 564-0071, answers@dallegal.com, on or before July 18, 2024, and file the original with the Clerk of this Court either before service on Plaintiff’s attorneys or immediately thereafter; otherwise a default will be entered against you for the relief demanded in the complaint or petition. IF YOU ARE A PERSON WITH A DISABILITY WHO NEEDS ANY ACCOMMODATION IN ORDER TO PARTICIPATE IN THIS PROCEEDING, YOU ARE ENTITLED, AT NO COST TO YOU, TO THE PROVISION OF CERTAIN ASSISTANCE. TO REQUEST SUCH AN ACCOMMODATION, PLEASE CONTACT THE ADMINISTRATIVE OFFICE OF THE COURTS WITHIN TWO WORKING DAYS OF THE DATE THE SERVICE IS NEEDED: COMPLETE THE REQUEST FOR ACCOMMODATIONS FORM AND SUBMIT TO 800 E. TWIGGS STREET, ROOM 604 TAMPA, FL 33602. IF YOU ARE HEARING IMPAIRED, CALL 1-800-955-8771, VOICE IMPAIRED, CALL 1-800-9558770 OR EMAIL ADA@FLJUD13. ORG.

DATED on June 12, 2024. /s/ Cindy Stuart As Clerk of the Court (SEAL) By: /s/ Mustafa Divan As Deputy Clerk Diaz Anselmo & Associates, P.A. Plaintiff’s attorneys P.O. BOX 19519 Fort Lauderdale, FL 33318 (954) 564-0071 answers@dallegal.com 1496-200885 / VP2 June 21, 28, 2024 24-01871H

by JULY 23, 2024, on Albertelli Law, Plaintiff’s attorney, whose address is P.O. Box 23028, Tampa, FL 33623; otherwise, a default will be entered against you for the relief demanded in the Complaint or petition.

This notice shall be published once a week for two consecutive weeks in the Business Observer.

**See the Americans with Disabilities Act In Accordance with the Americans with Disabilities Act, if you are a person with a disability who needs any accommodation in order to participate in this proceeding, you are entitled, at no cost to you, to the provision of certain assistance. Please contact the ADA Coordinator, Hillsborough County Courthouse, 800 E. Twiggs St., Room 604, Tampa, Florida 33602, (813) 272-7040, at least 7 days before your scheduled court appearance, or immediately upon receiving this notification if the time before the scheduled appearance is less than 7 days; if you are hearing or voice impaired, call 711. To file response please contact Hillsborough County Clerk of Court, P.O. Box 989, Tampa, FL 33601, Tel: (813) 276-8100; Fax: (813) 272-5508.

WITNESS my hand and the seal of this court on this 17 day of JUNE, 2024. CINDY STUART Clerk of the Circuit Court Hillsborough County Courthouse 800 E. Twiggs St. Tampa, FL 33602

(SEAL) By: /s/ Isha Tirado-Baker Deputy Clerk

Albertelli Law P.O. Box 23028 Tampa, FL 33623 AR- 24-004374 June 21, 28, 2024 24-01918H

to 800 E. Twiggs Street, Room 604, Tampa, FL 33602. ADA Coordination

Help Line (813) 272-7040; Hearing Impaired Line 1-800-955-8771; Voice Impaired Line 1-800-955-8770. WITNESS my hand and seal of said Court at Hillsborough County, Florida, this 7 day of JUNE, 2024.

CINDY STUART As Clerk of the Court

(SEAL) By: /s/ Isha Tirado-Baker Deputy Clerk

Respectfully Submitted, LAW FIRM OF GARY M. SINGER, P.A. 12 SE 7th Street, Suite 820 Fort Lauderdale, FL 33301

Telephone: (954) 851-1448

Facsimile: (954) 252-2189 service@garysingerlaw.com singer@garysingerlaw.com

By: /s/ Gary M. Singer

Gary M. Singer, Esq. Florida Bar No.: 544906

June 21, 28, 2024 24-01932H

NOTICE OF SALE

PURSUANT TO CHAPTER 45 IN THE CIRCUIT COURT OF THE THIRTEENTH JUDICIAL CIRCUIT IN AND FOR HILLSBOROUGH COUNTY, FLORIDA CIVIL ACTION CASE NO.: 19-CA-012176 ADVANTA IRA SERVICES, LLC FBO BENEFICIARY ROTH IRA #8005207, Plaintiff, vs. THOMAS ORTIZ, et al., Defendant(s). NOTICE IS HEREBY GIVEN pursuant to a Final Judgment of Foreclosure dated July 19, 2023, and entered in Case No. 19-CA-012176 of the Circuit Court of the Thirteenth Judicial Circuit in and for Hillsborough County, Florida in which THOMAS ORTIZ A/K/A TOMMY ORTIZ; ALLIANCE BANK OF ARIZONA; ARVON FUNDING, LLC ASSIGNEE OF GORDON FOODSERVICE, INC.; CLERK OF CIRCUIT COURT HILLSBOROUGH COUNTY, FLORIDA; FRESCO’S RISTORANTE, LLC, A FLORIDA LIMITED LIABILITY COMPANY; GRAND CAPITAL FUNDING, LLC; STATE OF FLORIDA, DEPARTMENT OF REVENUE; UNKONWN TENANT 1; UNKONWN TENANT 2; UNKONWN TENANT 3; UNKONWN TENANT 4 are defendants, Cindy Stuart, Clerk of the Court, will sell to the highest and best bidder for cash in/on https://www.hillsborough.realforeclose. com/index.cfm in accordance with chapter 45 Florida Statutes, Hillsborough County, Florida at 10:00 am on July 23, 2024, the following described property as set forth in said Final Judgment of Foreclosure: LOT 3, BLOCK 21, OSCAWANA, ACCORDING TO THE MAP OR PLAT THEREOF AS RECORDED IN PLAT BOOK 4, PAGE 85,

NOTICE OF ACTION IN THE CIRCUIT COURT OF THE THIRTEENTH JUDICIAL CIRCUIT OF FLORIDA IN AND FOR HILLSBOROUGH COUNTY GENERAL JURISDICTION DIVISION CASE NO. 23-CA-002373 FIRSTKEY MASTER FUNDING 2021-A COLLATERAL TRUST, U.S. BANK TRUST NATIONAL ASSOCIATION AS COLLATERAL TRUST TRUSTEE, Plaintiff, vs. JANICE FERNANDEZ, et al., Defendant. To the following Defendant(s): ANY AND ALL UNKNOWN PARTIES CLAIMING BY, THROUGH UNDER AND AGAINST ARCADIO FERNANDEZ, WHETHER SAID UNKNOWN PARTIES MAY CLAIM AN INTEREST AS SPOUSES, HEIRS, DEVISEES, GRANTEES, OR OTHER CLAIMANTS YOU ARE NOTIFIED that an action for Foreclosure of Mortgage on the following described property: LOT 178, BLOCK H, PINECREST VILLA ADDITION NO. 1 PREMIER WEST COAST SUBDIVISION, AS PER PLAT THEREOF, RECORDED IN PLAT BOOK 14, PAGE 40, OF THE PUBLIC RECORDS OF HILLSBOROUGH COUNTY, FLORIDA has been filed against you and you are required to serve a copy of you written defenses, if any, to it, on McCalla Raymer Leibert Pierce, LLC, Jamie Juster, Attorney for Plaintiff, whose address is 225 East Robinson Street, Suite

NOTICE OF SALE

OF THE PUBLIC RECORDS OF HILLSBOROUGH COUNTY, FLORIDA. PROPERTY ADDRESS: 308 S. FREEMONT AVE., TAMPA, FL 33606

Any person claiming an interest in the surplus from the sale, if any, other than the property owner as of the date of the lis pendens must file a claim before the clerk reports the surplus as unclaimed. The Court, in its discretion, may enlarge the time of the sale. Notice of the changed time of sale shall be published as provided herein.

**See Americans with Disabilities Act**

If you are a person with a disability who needs any accommodation in order to participate in this proceeding, you are entitled, at no cost to you, to the provision of certain assistance. Please contact the ADA Coordinator, Hillsborough County Courthouse, 800 E. Twiggs St., Room 604, Tampa, Florida 33602, (813) 272-7040, at least 7 days before your scheduled court appearance, or immediately upon receiving this notification if the time before the scheduled appearance is less than 7 days; if you are hearing or voice impaired, call 711. /s/ Damian G. Waldman, Esq. Florida Bar No. 0090502

Law Offices of Damian G. Waldman, P.A. PO Box 5162 Largo, FL 33779 Telephone: (727) 538-4160

Facsimile: (727) 240-4972 Email 1: damian@dwaldmanlaw.com

155, Orlando, FL 32801 on or before July 18, 2024, a date which is within thirty (30) days after the first publication of this Notice in and file the original with the Clerk of this Court either before service on Plaintiff’s attorney or immediately thereafter; otherwise a default will be entered against you for the relief demand in the complaint. If you are a person with a disability who needs an accommodation in order to access court facilities or participate in a court proceeding, you are entitled, at no cost to you, to the provision of certain assistance. To request such an accommodation, please contact Court Administration at least 7 days before your scheduled court appearance, or immediately upon receiving a notification of a scheduled court proceeding if the time before the scheduled appearance is less than 7 days. Complete the Request for Accommodations Form and submit to 800 E. Twiggs Street, Room 604, Tampa, FL 33602. ADA Coordination Help Line (813) 272-7040; Hearing Impaired Line 1-800-955-8771; Voice Impaired Line 1-800-955-8770. WITNESS my hand and seal of this Court this 12th day of June, 2024. Clerk of the Court (SEAL) By /s/ Mustafa Divan As Deputy Clerk Submitted by: MCCALLA RAYMER LEIBERT PIERCE, LLC 225 East Robinson Street, Suite 155 Orlando, FL 32801 Phone: (407) 674-1850 Email: AccountsPayable@mccalla.com 22-01719FL June 21, 28, 2024 24-01933H

FIRST INSERTION

PURSUANT TO CHAPTER 45, FLORIDA STATUTES IN THE CIRCUIT COURT OF THE THIRTEENTH JUDICIAL CIRCUIT, IN AND FOR HILLSBOROUGH COUNTY, FLORIDA CASE NO.: 2023-CA-013224 CYPRESS CREEK OF HILLSBOROUGH HOMEOWNERS ASSOCIATION, INC., Plaintiff, vs. JOSHUA ALLEN LINSCHOTEN, et al., Defendant(s). Notice is given that pursuant to the Final Judgment of Foreclosure dated , in Case No.: 2023-CA-013224 of the Circuit Court in and for Hillsborough County, Florida, wherein CYPRESS CREEK OF HILLSBOROUGH HOMEOWNERS ASSOCIATION, INC. , is the Plaintiff and JOSHUA ALLEN LINSCHOTEN , et al., is/are the Defendant(s). The Clerk of Court will sell to the highest and best bidder for cash at 10:00 a.m., at https:// www.hillsborough.realforeclose.com, in accordance with Section 45.031, Florida Statutes, on August 16, 2024, the following described property set forth in the Final Judgment of Foreclosure: Lot 9, Block 6, Map or Plat entitled “Cypress Creek Phase 2” As recorded in Plat Book 109, Page 282 through 304, Of the Public Records of Hillsborough County, Florida. Any person claiming an interest in the surplus from the sale, if any, other than the property owner as of the date of the lis pendens must file a claim before the clerk reports the surplus as unclaimed. IF YOU ARE A PERSON WITH A DISABILITY WHO NEEDS ANY ACCOMMODATIONS

JUNE 21 - JUNE 27, 2024 BUSINESS OBSERVER
22
FIRST INSERTION FIRST INSERTION FIRST INSERTION FIRST INSERTION FIRST INSERTION FIRST INSERTION FIRST
--- ACTIONS / SALES ---
INSERTION
E-Service: service@dwaldmanlaw.com Attorneys for Plaintiff June 21, 28, 2024 24-01917H
IN ORDER TO PARTICIPATE IN THIS PROCEEDING, YOU ARE ENTITLED, AT NO COST TO YOU, TO THE PROVISION OF CERTAIN ASSISTANCE. PLEASE CONTACT MEDIATION & DIVERSION SERVICES, 800 E. TWIGGS ST. ROOM 208, TAMPA, FL, 33602, TELEPHONE 272-5644 WITHIN 2 WORKING DAYS OF YOUR RECEIPT OF THIS MEDIATION CONFERENCE NOTICE; IF YOU ARE HEARING IMPAIRED CALL 1-800955-8771; IF YOU ARE VOICE IMPAIRED, AND CALL-1-800-955-8770. DATED: June 19, 2024 By: /s/ Shayla J. Mount Shayla J. Mount, Esquire Florida Bar No.: 108557 ARIAS BOSINGER, PLLC 280 W. Canton Avenue, Suite 330 Winter Park , Florida 32789 (407) 636-2549 June 21, 28, 2024 24-01939H LEGAL NOTICE PUBLISH YOUR Email legal@businessobserverfl.com LV20878_V7 SAVE TIME legal@businessobserverfl.com • Deadline Wednesday at noon • Friday Publication SARASOTA • MANATEE • HILLSBOROUGH • PASCO • PINELLAS • POLK • LEE • COLLIER •CHARLOTTE LV20906_V24

--- ACTIONS / SALES ---

NOTICE OF ACTION IN THE CIRCUIT COURT OF THE THIRTEENTH JUDICIAL CIRCUIT IN AND FOR HILLSBOROUGH COUNTY, FLORIDA CASE NO.: 24-CA-003625

DIVISION: A WELLS FARGO BANK, N.A., AS TRUSTEE FOR THE WAMU MORTGAGE PASS-THROUGH CERTIFICATES SERIES 2005-PR1 TRUST, Plaintiff, vs. CARLO M. SPICOLA; IRIS G. REYES; U.S. BANK NATIONAL ASSOCIATION, NOT IN ITS INDIVIDUAL CAPACITY, BUT SOLELY AS TRUSTEE OF NRZ RECOVERY TRUST; JPMORGAN CHASE BANK, N.A. S/B/M CHASE BANK USA, N.A.;, UNKNOWN TENANT(S) IN POSSESSION #1 and #2, et.al. Defendant(s).

TO: IRIS G. REYES

(Current Residence Unknown) (Last Known Address(es)) 2219 GORDON STREET TAMPA, FL 33605 ALL OTHER UNKNOWN PARTIES, INCLUDING, IF A NAMED DEFENDANT IS DECEASED, THE PERSONAL REPRESENTATIVES, THE SURVIVING SPOUSE, HEIRS, DEVISEES, GRANTEES, CREDITORS, AND ALL OTHER PARTIES CLAIMING, BY, THROUGH, UNDER OR AGAINST THAT DEFENDANT, AND ALL CLAIMANTS, PERSONS OR PARTIES, NATURAL OR CORPORATE, OR WHOSE EXACT LEGAL STATUS IS UNKNOWN, CLAIMING UNDER ANY OF THE ABOVE NAMED OR DESCRIBED DEFENDANTS (Last Known Address) 2219 GORDON STREET TAMPA, FL 33605

YOU ARE NOTIFIED that an action for Foreclosure of Mortgage on the following described property: LOT 4, BLOCK 34, OF EAST TAMPA SUBDIVISION, ACCORDING TO THE PLAT THEREOF, RECORDED IN PLAT BOOK 1, AT PAGE 134, OF THE PUBLIC RECORDS OF HILLSBOROUGH COUNTY, FLORIDA.

A/K/A: 2219 GORDON STREET, TAMPA, FL 33605.

NOTICE OF ACTION IN THE CIRCUIT COURT OF THE 13TH JUDICIAL CIRCUIT IN AND FOR HILLSBOROUGH COUNTY, FLORIDA CASE NO.: 29-2024-CA-002811

DIVISION: F

U.S. BANK TRUST NATIONAL ASSOCIATION, AS TRUSTEE OF FW-BKPL SERIES I TRUST, Plaintiff, v. EDWARD T. WILLIAMS; TEQUILA WILLIAMS; UNKNOWN SPOUSE OF EDWARD T. WILLIAMS; UNKNOWN SPOUSE OF TEQUILA WILLIAMS; THE CITY OF TAMPA, A MUNICIPAL CORPORATION 2; DENISE DENNIS; CLERK OF THE CIRCUIT COURT OF HILLSBOROUGH COUNTY, FLORIDA; ASHLEY A. ASHENS; YVONNE E. SEPERSAUD; LAURIE BOZARTH; PERSOLVE RECOVERIES, LLC; UNKNOWN TENANT #1; UNKNOWN TENANT #2; Defendant(s).

To the following Defendant(s): DENISE DENNIS (Last Known Address: 3815 OSBORNE OAKS WAY, TAMPA, FL 33610) YOU ARE NOTIFIED that an action to foreclose based on boundaries established by acquiescence, on the following described property: LOT 254, FERN CLIFF, ACCORDING TO THE PLAT THEREOF, AS RECORDED IN PLAT BOOK 11, PAGE 21, PUBLIC RECORDS OF HILLSBOROUGH COUNTY, FLORIDA. PROPERTY ADDRESS: 1612 E NOME ST., TAMPA, FL 33604 has been filed against you and you are required to serve a copy of your written defenses, if any, to it, on Ghidotti | Berger LLP, Attorney for Plaintiff,

RE-NOTICE OF FORECLOSURE SALE IN THE CIRCUIT COURT OF THE THIRTEENTH JUDICIAL CIRCUIT, IN AND FOR HILLSBOROUGH COUNTY, FLORIDA CASE NO. 18-CA-005352

DIVISION: K RF – II

HSBC BANK USA, N.A., AS INDENTURE TRUSTEE FOR THE REGISTERED

NOTEHOLDERS OF RENAISSANCE HOME EQUITY LOAN TRUST 2007-2, Plaintiff, vs. UNKNOWN HEIRS OF ELIZABETH EDWARDS; ET AL. Defendants

has been filed against you and you are required to serve a copy of your written defenses, if any, to it, on Brian L. Rosaler, Esquire, POPKIN & ROSALER, P.A., 1701 West Hillsboro Boulevard, Suite 400, Deerfield Beach, FL 33442., Attorney for Plaintiff, on or before JULY 23, 2024, a date which is within thirty (30) days after the first publication of this Notice in the (Please publish in Business Observer) and file the original with the Clerk of this Court either before service on Plaintiff’s attorney or immediately thereafter; otherwise a default will be entered against you for the relief demanded in the complaint. If you are an individual with a disability who needs an accommodation in order to participate in a court proceeding or other court service, program, or activity, you are entitled, at no cost to you, to the provision of certain assistance. Requests for accommodations may be presented on this form, in another written format, or orally. Please complete the attached form and mail it to the Thirteenth Judicial Circuit, Attention: ADA Coordinator, 800 E. Twiggs Street, Room 604, Tampa, FL 33602 or email it to ADA@fljud13.org as far in advance as possible, but preferably at least seven (7) days before your scheduled court appearance or other court activity.

Upon request by a qualified individual with a disability, this document will be made available in an alternate format. If you need assistance in completing this form due to your disability, or to request this document in an alternate format, please contact the ADA Coordinator at (813) 272-7040 or 711 (Hearing or Voice Impaired Line) or ADA@ fljud13.org.

WITNESS my hand and the seal of this Court this 17 day of June, 2024. CINDY STUART As Clerk of the Court and/or Comptroller (SEAL) /s/ Isha Tirado-Baker Deputy Clerk Brian L. Rosaler, Esquire POPKIN & ROSALER, P.A. 1701 West Hillsboro Boulevard, Suite 400 Deerfield Beach, FL 33442. Attorney for Plaintiff 24-51169 June 21, 28, 2024 24-01896H

whose address is 1031 North Miami Beach Boulevard, North Miami Beach, FL 33162 on or before JULY 19, 2024, a date which is within thirty (30) days after the first publication of this Notice in the Business Observer and file the original with the Clerk of this Court either before service on Plaintiff’s attorney or immediately thereafter; otherwise a default will be entered against you for the relief demanded in the complaint. This notice is provided pursuant to Administrative Order No. 2010-08

If you are a person with a disability who needs an accommodation in order to access court facilities or participate in a court proceeding, you are entitled, at no cost to you, to the provision of certain assistance. To request such an accommodation, please contact Court Administration at least 7 days before your scheduled court appearance, or immediately upon receiving a notification of a scheduled court proceeding if the time before the scheduled appearance is less than 7 days. Complete the Request for Accommodations Form and submit to 800 E. Twiggs Street, Room 604, Tampa, FL 33602. ADA Coordination Help Line (813) 272-7040; Hearing Impaired Line 1-800-955-8771; Voice Impaired Line 1-800-955-8770. WITNESS my hand and the seal of this Court this 13 day of JUNE, 2024. PAT FRANK As Clerk of the Court

(SEAL) By /s/ Isha Tirado-Baker As Deputy Clerk Hillsborough County Courthouse 800 E. Twiggs St. Tampa, FL 33602 Ghidotti | Berger LLP Attorney for Plaintiff 1031 North Miami Beach Boulevard North Miami Beach, FL 33162 June 21, 28, 2024 24-01872H

May 16, 2024, and entered in Case No. 18-CA-005352, of the Circuit Court of the Thirteenth Judicial Circuit in and for HILLSBOROUGH County, Florida. HSBC BANK USA, N.A., AS INDENTURE TRUSTEE FOR THE REGISTERED NOTEHOLDERS OF RENAISSANCE HOME EQUITY LOAN TRUST 2007-2 (hereafter “Plaintiff”), is Plaintiff and UNKNOWN HEIRS OF ELIZABETH EDWARDS; RICHARD E. EDWARDS, III; CLIFTON EDWARDS, JR.; JONATHAN EUGENE FENNELL; CAVALRY PORTFOLIO SERVICES, LLC, are defendants. Cindy Stuart, Clerk of the Circuit Court for HILLSBOROUGH, County Florida will sell to the highest and best bidder for cash via the Internet at http://www.hillsborough. realforeclose.com at 10:00 a.m., on the 12TH day of JULY, 2024, the fol-

NOTICE OF SALE

PURSUANT TO CHAPTER 45 IN THE CIRCUIT COURT OF THE 13TH JUDICIAL CIRCUIT, IN AND FOR HILLSBOROUGH COUNTY, FLORIDA CASE NO.: 08-CA-004323

U.S. BANK TRUST NATIONAL ASSOCIATION, AS TRUSTEE OF THE BUNGALOW SERIES IV TRUST, Plaintiff, v. JEFFREY SCOTT SHIOLENO AND HOLLY SHIOLENO, et al, Defendant(s). NOTICE IS HEREBY GIVEN that pursuant to an Amended Final Judgment in Foreclosure entered on May 10, 2024 and entered in Case No. 08CA-004323 in the Circuit Court of the 13TH Judicial Circuit in and for Hillsborough County, Florida, wherein U.S. BANK TRUST NATIONAL ASSOCIATION, AS TRUSTEE OF THE BUNGALOW SERIES IV TRUST.. is the Plaintiff, and JEFFREY SCOTT SHIOLENO and HOLLY SHIOLENO, are the Defendants. The Clerk of the Court, Cindy Stewart, will sell to the highest bidder for cash at https:// hillsborough.realforeclose.com, on August 8, 2024 at 10:00 a.m., the following described real property as set forth in said Final Judgment, to wit: THE EAST 60 FEET OF THE WEST 180 FEET OF THE SOUTH 140 FEET OF LOT 11, HESPERIDES, ACCORDING TO THE PLAT THEREOF, RECORDED IN PLAT BOOK 2, PAGE 84, OF THE PUBLIC RECORDS OF HILLSBOROUGH COUNTY, FLORIDA. and commonly known as: 5105

NOTICE OF FORECLOSURE SALE IN THE CIRCUIT COURT OF THE THIRTEENTH JUDICIAL CIRCUIT, IN AND FOR HILLSBOROUGH COUNTY, FLORIDA CASE NO: 23-CA-015416

AVAIL 1 LLC, a Delaware limited liability company, Plaintiff, vs. UNKNOWN SPOUSE, HEIRS, DEVISEE, GRANTEES, ASSIGNEES, LIENORS, CREDITORS, TRUSTEES AND ALL OTHER PARTIES CLAIMING AN INTEREST BY, THROUGH, UNDER ANNABELLE SITTER (DECEASED) OR THROUGH ELAINE HEARD CUTHBERTSON, AS THE PERSONAL REPRESENTATIVE OF THE ESTATE OF ANNABELLE SITTER; OAK PARK TOWNHOMES HOMEOWNERS ASSOCIATION, INC.; AND ALL OTHER PERSONS CLAIMING BY, THROUGH OR UNDER ANY OF THE NAMED DEFENDANT AND ANY OTHER PERSONS CLAIMING AN INTEREST IN THE REAL PROPERTY WHICH IS THE SUBJECT MATTER OF THIS ACTION BY AND THROUGH OR UNDER OR AGAINST THE NAMED DEFENDANTS HEREIN; UNKNOWN TENANT, IF ANY Defendant(s).

NOTICE is hereby given pursuant to the Uniform Final Judgment of Foreclosure dated June 5, 2024, and entered in Case No. 23-CA-015416, of the Circuit Court of the 13th Judicial Circuit in and for Hillsborough County, Florida, wherein Avail 1 LLC is the Plaintiff and UNKNOWN SPOUSE, HEIRS, DEVISEE, GRANTEES, ASSIGNEES, LIENORS, CREDITORS, TRUSTEES AND ALL OTHER PARTIES CLAIMING AN INTEREST BY, THROUGH, UNDER ANNABELLE SITTER (DECEASED) OR THROUGH ELAINE HEARD CUTHBERTSON, AS THE PERSONAL REPRESENTATIVE OF THE ESTATE OF ANNABELLE SITTER; OAK PARK TOWNHOMES HOMEOWNERS ASSOCIATION, INC.; AND ALL OTHER PERSONS CLAIMING BY, THROUGH OR UNDER ANY OF THE NAMED DE-

--- ACTIONS / SALES ---

W CLEVELAND STREET, TAMPA , FL 33609 (the “Property”).

ANY PERSON CLAIMING AN INTEREST IN THE SURPLUS FROM THE SALE, IF ANY, OTHER THAN THE PROPERTY OWNER AS OF THE DATE OF THE LIS PENDENS MUST FILE A CLAIM WITHIN 60 DAYS AFTER THE SALE.

IMPORTANT

If you are a person with a disability who needs any accommodation in order to participate in this proceeding, you are entitled, at no cost to you, to the provision of certain assistance. Please contact the Court’s ADA Coordinator, Hillsborough County Courthouse, 800 E. Twiggs St., Room 604, Tampa, Florida 33602, (813) 272-7040, at least 7 days before your scheduled court appearance, or immediately upon receiving this notification if the time before the scheduled appearance is less than 7 days; if you are hearing or voice impaired, call 711.

WITNESS my hand and the seal of the court on June 6, 2024.

GHIDOTTI | BERGER LLP

Attorneys for Plaintiff 1031 North Miami Beach Boulevard North Miami Beach, FL 33162

Telephone: (305) 501-2808

Facsimile: (954) 780-5578

By: /s/Tara Rosenfeld Tara Rosenfeld, Esq. Florida Bar No. 59454

fcpleadings@ghidottiberger.com

June 14, 21, 2024 24-01806H

FENDANT AND ANY OTHER PERSONS CLAIMING AN INTEREST IN THE REAL PROPERTY WHICH IS THE SUBJECT MATTER OF THIS ACTION BY AND THROUGH OR UNDER OR AGAINST THE NAMED DEFENDANTS HEREIN; UNKNOWN TENANT, IF ANY, are Defendants. The Clerk of this Court, Cindy Stewart, shall sell to the highest and best bidder for cash electronically at www.hillsborough.realforeclose. com, the Clerk’s website for on-line auctions, at 10:00 AM on JUNE 26, 2024, the following described property as set forth in said Final Judgment, to wit:

Lot 1, Block 8, Oak Park Townhomes, according to the map or plat thereof as recorded In Plat Book 57, Page 58, Public Records of Hillsborough County, Florida. With a street address at: 1018 Cicero Lane, Brandon, FL 33511. ANY PERSON OR ENTITY CLAIMING AN INTEREST IN THE SURPLUS, IF ANY, RESULTING FROM THE FORECLOSURE SALE, OTHER THAN THE PROPERTY OWNER AS OF THE DATE OF THE LIS PENDENS, MUST FILE A CLAIM ON SAME WITH THE CLERK OF COURT WITHIN 60 DAYS AFTER THE FORECLOSURE SALE.

If you are a person with a disability who needs an accommodation, you are entitled, at no cost to you, to the provision of certain assistance. To request such an accommodation, please contact the Thirteenth Judicial Circuit ADA Coordinator at the George E. Edgecomb Courthouse, 800 E. Twiggs St., Room 604, Tampa, FL 33602; Phone: (813) 272-5894 at least seven working days of the date of the service is needed; if you are hearing or voice impaired, call 711. DATED June 5, 2024 .

By: /s/ Vivian A. Jaime Vivian A. Jaime, Esq. FBN 714771

RITTER, ZARETSKY, LIEBER & JAIME, LLP 2800 Biscayne Boulevard, Suite 500 Miami, Florida 33137

Tel: 305-372-0933

E-mail: Vivian@rzllaw.com

June 14, 21, 2024 24-01799H

SECOND INSERTION

lowing described property as set forth in said final judgment, to wit: ALL THAT CERTAIN PARCEL OF LAND LYING AND BEING IN THE COUNTY OF HILLSBOROUGH, AND STATE OF FLORIDA, MORE PARTICULARLY DESCRIBED AS FOLLOWS, TO WIT: LOT 35 OF SULTANA GLADE SUBDIVISION ACCORDING TO THE PLAT THEREOF RECORDED IN PLAT BOOK 35, AT PAGE 68, OF THE PUBLIC RECORDS OF HILLSBOROUGH COUNTY, FLORIDA. BEING KNOWN AS 4210 EAST GROVE STREET, TAMPA, FL. Any person claiming an interest in the surplus from the sale, if any, other than the property owner as of the date of the lis pendens must file a claim before the clerk reports the surplus as

NOTICE OF ACTION IN THE CIRCUIT COURT OF THE THIRTEENTH JUDICIAL CIRCUIT OF FLORIDA IN AND FOR HILLSBOROUGH COUNTY GENERAL JURISDICTION

DIVISION CASE NO. 23-CA-014379

DIVISION: K LAKEVIEW LOAN SERVICING, LLC, Plaintiff, vs. ALEX J. HERNANDEZ, et al., Defendant. To the following Defendant(s): ANY AND ALL UNKNOWN PARTIES CLAIMING BY, THROUGH, UNDER, AND AGAINST AMPARO HERNANDEZ A/K/A AMPARO J. HERNANDEZ, WHETHER SAID UNKNOWN PARTIES MAY CLAIM AN INTEREST AS SPOUSES, HEIRS, DEVISEES, GRANTEES, OR OTHER CLAIMANTS (ADDRESS UNKNOWN) YOU ARE NOTIFIED that an action for Foreclosure of Mortgage on the following described property: THE WEST 80 FEET OF LOTS 11 AND 12, BLOCK 3, OAKLAND HEIGHTS, ACCORDING TO THE PLAT THEREOF RECORDED IN PLAT BOOK 21, PAGE 19, PUBLIC RECORDS OF HILLSBOROUGH COUNTY, FLORIDA. has been filed against you and you are required to serve a copy of you written defenses, if any, to it, on McCalla Raymer Leibert Pierce, LLC, Sara Collins, Attorney for Plaintiff, whose address is 225 East Robinson Street, Suite 155, Orlando, FL 32801 on or before JUNE 28, 2024, a date which is within

NOTICE OF ACTION IN THE CIRCUIT COURT OF THE THIRTEENTH JUDICIAL CIRCUIT, IN AND FOR HILLSBOROUGH COUNTY, FLORIDA CIVIL DIVISION CASE NO: 24-CA-003294

DIVISION: H HARRIS LOYD GLASGOW, AS TRUSTEE OF THE HARRIS LOYD GLASGOW REVOCABLE LIVING TRUST, U/A DATED FEBRUARY 21, 2002, Plaintiff, vs. DONNETTE MARIE CERVANTES, an Individual, CICORRA CERVATES, an individual, ASHLEY OAKS CONDOMINIUM ASSOCIATION, INC., a Florida Non-Profit Corporation and UNKNOWN TENANTS, Defendants. TO THE FOLLOWING DEFENDANTS: DONNETTE MARIE CERVANTES CICORRA CERVANTES UNKNOWN TENANTS YOU ARE NOTIFIED that an action to an action to foreclose a real estate mortgage on the following described property: Legal Description: Lot 12, of Ashley Oaks Mobile Home Park, a Condominium according to the Declaration of Condominium thereof recorded in Official Records Book 5768, page 957, and as per plat thereof recorded in Condominium Book 12, Page 63. Of the Public Records of Hillsborough County, Florida, and any amendments thereto, together with its undivided share in the common elements; Together with : 2000 CHAM doublewide Mobile Home Title No: 91030093, Identification No: FLA 146C5555A and Mobile Home Title No: 91031507, Identification No: FLA 146C55555B. Address: 9303 Ashley Oaks Court, Tampa, Florida 33610 Parcel ID Number: U-06-29-20-286-00000000012.0 has been filed against you and you are required to serve a copy of your written

thirty (30) days after the first publication of this Notice in and file the original with the Clerk of this Court either before service on Plaintiff’s attorney or immediately thereafter; otherwise a default will be entered against you for the relief demand in the complaint. If you are a person with a disability who needs an accommodation in order to access court facilities or participate in a court proceeding, you are entitled, at no cost to you, to the provision of certain assistance. To request such an accommodation, please contact Court Administration at least 7 days before your scheduled court appearance, or immediately upon receiving a notification of a scheduled court proceeding if the time before the scheduled appearance is less than 7 days. Complete the Request for Accommodations Form and submit to 800 E. Twiggs Street, Room 604, Tampa, FL 33602. ADA Coordination Help Line (813) 272-7040; Hearing Impaired Line 1-800-955-8771; Voice Impaired Line 1-800-955-8770. WITNESS my hand and seal of this Court this 23 day of MAY, 2024. Cindy Stuart, Clerk of the Court (SEAL) By /s/ Isha Tirado-Baker As Deputy Clerk

Submitted by: MCCALLA RAYMER LEIBERT PIERCE, LLC 225 East Robinson Street, Suite 155, Orlando, FL 32801 Phone; (407) 674-1850

Email: AccountsPayable@mccalla.com 23-06202FL June 14, 21, 2024 24-01807H

defenses, if any, to it, on: WALTER SOWA, III, ESQ. Attorney for the Plaintiff 435 12th Street West, Suite 206 Bradenton, FL 34205 Telephone: (941) 840-0820 Email Address: Walter@SowaLegal.com within 28 days after the first publication of this notice in the Business Observer (Hillsborough) and file the original with the Clerk of this Court at 800 E. Twiggs Street, Room 101, Tampa, FL 33602, either before service on plaintiff or immediately thereafter. If a defendant fails to do so, a default will be entered against that defendant for the relief demanded in the complaint. If you are a person with a disability who needs an accommodation in order to access court facilities or participate in a court proceeding, you are entitled, at no cost to you, to the provision of certain assistance. To request such an accommodation, please contact Court Administration at least 7 days before your scheduled court appearance, or immediately upon receiving a notification of a scheduled court proceeding if the time before the scheduled appearance is less than 7 days. Complete the Request for Accommodations Form and submit to 800 E. Twiggs Street, Room 604, Tampa, FL 33602. ADA Coordination Help Line (813) 272-7040; Hearing Impaired Line 1-800-955-8771; Voice Impaired Line 1-800-955-8770. WITNESS my hand and seal of the Court this 29 day of May, 2024. DATED: 5/29/2024 CINDY STUART Clerk of the Circuit Court (Seal) BY: /s/ Isha Tirado-Baker As Deputy Clerk P.O. Box 3360 Tampa, FL 33601 800 E. Twiggs St. Room 101 Tampa, FL 33602

Submitted by: Walter Sowa, III, Esq. The Law Office of Walter Sowa, III, PL 435 12th Street West, Suite 206 Bradenton, FL 34205 Telephone: (941) 840-0820 Florida Bar No. 0102220 June 14, 21, 2024 24-01815H

unclaimed.

If you are a person with a disability who needs any accommodation in order to participate in this proceeding, you are entitled, at no cost to you, to the provision of certain assistance. Please contact The Admnistrative Office of the Court ADA Coordinator, 800 E. Twiggs Street Tampa FL 33602, 813- 272-7040; Hearing Impaired 1-800-955-8771; Voice Impaired 1-800-955-8770, email: ADA@ fljud13.org, at least 7 days before your scheduled court appearance, or immediately upon receiving this notification if the time before the scheduled appearance is less than 7 days; if you are hearing or voice impaired, call 711. Si usted es una persona minusválida que necesita algún acomodamiento para poder participar en este procedimiento, usted tiene derecho, sin tener gastos propios, a que se le provea cierta ayuda. Tenga la amabilidad de ponerse

en contacto con Admnistrative Office of the Court ADA Coordinator, 800 E. Twiggs Street Tampa FL 33602, 813- 272-7040; Discapacidad Auditiva 1-800-955-8771, Discapacidad de la Voz 1-800-955-8770, email: ADA@ fljud13.org por lo menos 7 días antes de la cita fijada para su comparecencia en los tribunales, o inmediatamente después de recibir esta notificación si el tiempo antes de la comparecencia que se ha programado es menos de 7 días; si usted tiene discapacitación del oído o de la voz, llame al 711. Si ou se yon moun ki enfim ki bezwen akomodasyon pou w ka patisipe nan pwosedi sa, ou kalifye san ou pa gen okenn lajan pou w peye, gen pwovizyon pou jwen kèk èd. Tanpri kontakte Admnistrative Office of the Court ADA Coordinator, 800 E. Twiggs Street Tampa FL 33602, 813- 272-7040 ;

JUNE 21 - JUNE 27, 2024 BUSINESS OBSERVER HILLSBOROUGH
24
FIRST
COUNTY
INSERTION FIRST INSERTION
NOTICE IS HEREBY GIVEN pursuant to a Uniform Second Amended Final Judgment of Foreclosure dated
ki gen pwoblem
pou parèt nan tribinal la, oubyen imedyatman apre ou fin resevwa konvokasyon an si lè ou gen pou w parèt nan tribinal la mwens ke 7 jou; si ou gen pwoblèm pou w tande oubyen pale, rele 711. VAN NESS LAW FIRM, PLC 1239 E. Newport Center Drive, Suite 110 Deerfield Beach, Florida 33442 Ph: (954) 571-2031 PRIMARY EMAIL: Pleadings@vanlawfl.com /S/ MARK ELIA Mark C. Elia, Esq. Bar Number: 695734 PHH4771-17/sap June 14, 21, 2024 24-01800H SUBSEQUENT INSERTIONS SUBSEQUENT INSERTIONS SECOND INSERTION SECOND INSERTION SECOND INSERTION SECOND INSERTION
Moun
pou tande 1-800-9558771; Vwa ki gen pwoblem 1-800-9558770; email: ADA@fljud13.org nan 7 jou anvan dat ou gen randevou

--- PUBLIC SALES ---

SECOND INSERTION

NOTICE OF PUBLIC SALE

Notice is hereby given that on 06/28/2024, at 10:30 a.m., the following property will be sold at public auction pursuant to F.S. 715.109: A 1983 SAND mobile home bearing vehicle identification number FLFL1AD287004225, and all personal items located inside the mobile home.

Last Tenant: Jorge Ramirez, and Osviel Maura. Sale to be held at: Terrace Crossings, 9901 East Fowler Avenue, Thonotosassa, Florida 33592, (813) 980-6007. June 14, 21, 2024 24-01850H

SECOND INSERTION

NOTICE OF PUBLIC SALE

Notice is hereby given that on 06-302024 at 11 a.m. the following vessel may be sold at public sale for storage charges pursuant to F.S. 328.17 Description of Vessel VIN: 1988 35ft Hunter Hin HUN35289H788 Tag: FL7489PJ Tenant/Owner MICHAEL ALLAN STADTMUELLER sale to be held at LITTLE HARBOR MARINAS 606 SEAGRAPE DRIVE RUSKIN, FL 33570 LITTLE HARBOR SMI OPCO LLC / LITTLE HARBOR MARINAS reserves the right to bid/reject any bid Vessel May Be Redeemed/Released Before Sale June 14, 21, 2024 24-01836H

NOTICE

Optum – Plant City will be relocating effective July 1, 2024. NEW LOCATION

WellMed at Plant City

Optum – Plant City

507 W. Alexander St. Plant City, FL 33563

Phone: 1-813-754-3504

Fax: 1-813-752-6863

For questions or copies of medical records call or fax: Phone: 1-813-7080164 Fax: 1-813-708-0165 June 7, 14, 21, 28, 2024 24-01743H

--- ESTATE ---

SECOND INSERTION

NOTICE TO CREDITORS (Summary Administration) IN THE CIRCUIT COURT FOR HILLSBOROUGH COUNTY, FLORIDA

PROBATE DIVISION File No. 24-CP-001891 Division B IN RE: ESTATE OF LUCILLE GAY GARDNER

Deceased. TO ALL PERSONS HAVING CLAIMS OR DEMANDS AGAINST THE ABOVE ESTATE:

You are hereby notified that an Order of Summary Administration has been entered in the estate of LUCILLE GAY GARDNER, deceased, File Number 24-CP-001891, by the Circuit Court for HILLSBOROUGH County, Florida, Probate Division, the address of which is 800 E. Twiggs Street, Tampa, FL 33602; that the decedent’s date of death was July 5, 2023; that the total value of the estate is less than $75,000, and that the names and addresses of those to whom it has been assigned by such order are:

Name Address Dawn Melissa Laquerre 1071 Marfell Street Erie, CO 80516

Michelle Gay White 18 Janski Lane Vilonia, AR 72173

ALL INTERESTED PERSONS ARE NOTIFIED THAT: All creditors of the estate of the decedent and persons having claims or demands against the estate of the decedent other than those for whom provision for full payment was made in the Order of Summary Administration must file their claims with this court WITHIN THE TIME PERIODS SET FORTH IN FLORIDA STATUTES SECTION 733.702. ALL CLAIMS AND DEMANDS NOT SO FILED WILL BE FOREVER BARRED. NOTWITHSTANDING

ANY OTHER APPLICABLE TIME PERIOD, ANY CLAIM FILED TWO (2) YEARS OR MORE AFTER THE DECEDENT’S DATE OF DEATH IS BARRED.

The date of first publication of this Notice is June 14, 2024.

Person Giving Notice:

DAWN MELISSA LAQUERRE

1071 Marfell Street Erie, Colorado 80516

Attorney for Person Giving Notice

Neil R. Covert, Esquire

Attorney Florida Bar Number: 227285

Neil R. Covert, P.A.

311 Park Place Blvd., Ste. 180 Clearwater, Florida 33759

Telephone: (727) 449-8200

Fax: (727) 450-2190

E-Mail: ncovert@covertlaw.com

Secondary E-Mail: service@covertlaw.com

June 14, 21, 2024 24-01817H

SECOND INSERTION

NOTICE TO CREDITORS IN THE CIRCUIT COURT FOR HILLSBOROUGH COUNTY, FLORIDA PROBATE DIVISION File No. 2024-CP-1723 IN RE: ESTATE OF KATHY JANE MCNABB A/K/A KATHY FROEBE MCNABB Deceased.

The administration of the estate of Kathy Jane McNabb a/k/a Kathy Froebe McNabb, deceased, whose date of death was February 18, 2024, is pending in the Circuit Court for Hillsborough County, Florida, Probate Division, the address of which is P.O. Box 3360, Tampa, FL 33601. The names and addresses of the personal representative and the personal representative’s attorney are set forth below. All creditors of the decedent and other persons having claims or demands against decedent’s estate on whom a copy of this notice is required to be served must file their claims with this court ON OR BEFORE THE LATER OF 3 MONTHS AFTER THE TIME OF THE FIRST PUBLICATION OF THIS NOTICE OR 30 DAYS AFTER THE DATE OF SERVICE OF A COPY OF THIS NOTICE ON THEM.

All other creditors of the decedent and other persons having claims or demands against decedent’s estate must file their claims with this court WITHIN 3 MONTHS AFTER THE DATE OF THE FIRST PUBLICATION OF THIS NOTICE.

ALL CLAIMS NOT FILED WITHIN THE TIME PERIODS SET FORTH IN FLORIDA STATUTES SECTION 733.702 WILL BE FOREVER BARRED.

NOTWITHSTANDING THE TIME PERIODS SET FORTH ABOVE, ANY CLAIM FILED TWO (2) YEARS OR MORE AFTER THE DECEDENT’S DATE OF DEATH IS BARRED.

The date of first publication of this notice is June 14, 2024. Signed on May 15.

Personal Representative: /s/ DocuSigned by: Douglas Franklin Froebe 7701 Toland Avenue Los Angeles, California 90045

Attorney for Personal Representative: /s/ Judy Karniewicz, Attorney Florida Bar Number: 694185 THE KARNIEWICZ LAW GROUP 1211 W Fletcher Ave Tampa, Florida 33612

Telephone: (813) 962-0747

Fax: (813) 962-0741

E-Mail: judy@tklg.net

Secondary E-Mail: meredith@tklg.net June 14, 21, 2024 24-01791H

THIRD INSERTION

NOTICE OF ASSIGNMENT IN THE CIRCUIT COURT OF THE THIRTEENTH JUDICIAL CIRCUIT IN AND FOR HILLSBOROUGH COUNTY FLORIDA CASE NO.: 24-CA-004081 SECTION: J In re: Assignment for the Benefit of the Creditors of CHANNEL INVESTMENTS, LLC, a Florida limited liability company, Assignor, To: ROSS R. HARTOG, Assignee. TO CREDITORS AND OTHER INTERESTED PARTIES, PLEASE TAKE NOTICE THAT:

1. On May 20, 2024, a petition was filed commencing an assignment for the benefit of creditors pursuant to Chapter 727, Florida Statutes, made by Channel Investments, LLC (the “Assignor”), with its principal place of business at 13039 W. Linebaugh A venue, Unit 102, Tampa, Florida 33626, to Ross R. Hartog (the “Assignee”), whose address is 101 NE Third Avenue, Suite 1210, Fort Lauderdale, Floria 33301.

2. Pursuant to Section 727.105, Florida Statutes (a) proceedings may not be commenced against the Assignee except as provided in Chapter 727, Florida Statutes, and (b) except in the case of a consensual lienholder enforcing its rights in collateral, there shall be no levy, execution, attachment, or the like in the respect of any judgment against assets of the estate, other than real property, in the possession, custody, or control of the Assignee.

3. YOU ARE HEREBY further notified that in order to receive any dividend in this proceeding you must file a proof of claim with the Assignee on or before SEPTEMBER 17, 2024 (120 days from the date the petition was filed)

Dated: May 23, 2024

MARKOWITZ, RINGEL, TRUSTY & HARTOG, P.A. Attorneys for Assignee 101 NE Third Avenue, Suite 1210 Fort Lauderdale, Florida 33301

Tel: (954) 767-0030// Fax: (954) 767-0035 Primary email: litservice@mrthlaw.com

By: /s/ Alan R. Rosenberg ALAN R. ROSENBERG Florida Bar No. 92004 arosenberg@mrthlaw.com June 7, 14, 21, 28, 2024 24-01738H

HILLSBOROUGH COUNTY 25

SUBSEQUENT INSERTIONS

SECOND INSERTION

NOTICE TO CREDITORS IN THE CIRCUIT COURT FOR THE 6TH JUDICIAL CIRCUIT, IN AND FOR HILLSBOROUGH COUNTY, FLORIDA PROBATE DIVISION File No. 24-CP-001155 IN RE: ESTATE OF BEATRICE KATHERINE LEYSATH Deceased.

The administration of the estate of BEATRICE KATHERINE LEYSATH, Deceased, whose date of death was January 26, 2024, is pending in the Circuit Court for HILLSBOROUGH County, Florida, Probate Division, the address of which is 800 E. Twiggs St, Tampa, FL 33602. The names and addresses of the personal representative and the personal representative’s attorney are set forth below.

All creditors of the decedent and other persons having claims or demands against decedent’s estate on whom a copy of this notice is required to be served must file their claims with this court WITHIN THE LATER OF 3 MONTHS AFTER THE TIME OF THE FIRST PUBLICATION OF THIS NOTICE OR 30 DAYS AFTER THE DATE OF SERVICE OF A COPY OF THIS NOTICE ON THEM.

All other creditors of the decedent and other persons having claims or demands against decedent’s estate must file their claims with this court WITHIN 3 MONTHS AFTER THE DATE OF THE FIRST PUBLICATION OF THIS NOTICE.

ALL CLAIMS NOT FILED WITHIN THE TIME PERIODS SET FORTH IN SECTION 733.702 OF THE FLORIDA PROBATE CODE WILL BE FOREVER BARRED.

NOTWITHSTANDING THE TIME PERIODS SET FORTH ABOVE, ANY CLAIM FILED TWO (2) YEARS OR MORE AFTER THE DECEDENT’S DATE OF DEATH IS BARRED.

The date of first publication of this notice is June 14, 2024.

JAMES LEYSATH, JR.,

Personal Representative

Attorney for Personal Representative: Scott R. Bugay, Esquire

Florida Bar No. 5207

Citicentre, Suite P600 290 NW 165th Street Miami FL 33169

Telephone: (305) 956-9040 Fax: (305) 945-2905

Primary Email: Scott@srblawyers.com

Secondary Email: angelica@srblawyers.com June 14, 21, 2024 24-01787H

SECOND INSERTION

Notice to the Creditors IN THE CIRCUIT COURT FOR HILLSBOROUGH COUNTY FLORIDA

PROBATE DIVISION File Number:

292024CP001387A001HC IN RE: ESTATE OF Margit Lindedahl Deceased. The administration of the estate of Margit Lindedahl deceased, Uniform Case Number 292024CP001387A001HC, is pending in the Circuit Court for Hillsborough County, Florida, Probate Division, the address of which is 800 E. Twiggs Street, Tampa, FL, 33602. The names and addresses of the personal representative and personal representative’s attorney are set forth below.

ALL INTERESTED PERSONS ARE NOTIFIED THAT:

All creditors of the decedent and other persons having claims or demands including unmatured contingent or unliquidated claims against decedent’s estate on whom a copy of this notice is served within three months after the date of the first publication of this notice must file their claims with this Court WITHIN THE LATER OF THREE MONTHS AFTER THE DATE OF THE FIRST PUBLICATION OF THIS NOTICE OR THIRTY DAYS AFTER THE DATE OF SERVICE OF A COPY OF THIS NOTICE ON THEM.

All other creditors of the decedent and persons having claims or demands against the decedent’s estate must file their claims with this court WITHIN THREE MONTHS AFTER THE DATE OF THE FIRST PUBLICAITON OF THIS NOTICE.

ALL CLAIMS, DEMANDS AND OBJECTIONS NOT SO FILED WILL BE FOREVER BARRED. NOTWITHSTANDING THE TIME PERIODS SET FORTH ABOVE ANY CLAIM FILED TWO (2) YEARS OR MORE AFTER DECEDANT’S DATE OF DEATH IS BARRED.

The date of first publication of this Notice is June 14, 2024.

Personal Representative: Susanne Therese McClutchy 4707 Bullock Court Tampa, FL, 33624

Attorney for Personal Representative: Florida Bar No. 487813

Judith Ann Just, Attorney, P.A. 1773 NE Lima Calle Jensen Beach, FL 34957 Tel. 561-547-0549 Fax 561-420-6300 Judithjust01@hotmail.com June 14, 21, 2024 24-01797H

SECOND INSERTION NOTICE TO CREDITORS IN THE CIRCUIT COURT OF THE 13TH JUDICIAL CIRCUIT, IN AND FOR HILLSBOROUGH COUNTY, FLORIDA PROBATE DIVISION FILE NUMBER: 24-CP-1677 IN RE: THE ESTATE OF ANTONIO TIRADO AVILA, Deceased.

The administration of The Estate of ANTONIO TIRADO AVILA, whose date of death was JULY28, 2020, is pending in the Circuit Court for Hillsborough County, Florida, Probate Division, George E. Edgecomb Courthouse, 800 Twiggs St., Tampa, FL 33602. The names and addresses of the personal representative and the personal representative’s attorney are set forth below. All creditors of the decedent and other persons having claims or demands against decedent’s estate on whom a copy of this notice is required to be served must file their claims with this court WITHIN THE LATER OF 3 MONTHS AFTER THE TIME OF THE FIRST PUBLICATION OF THIS NOTICE OR 30 DAYS AFTER THE DATE OF SERVICE OF A COPY OF THIS NOTICE ON THEM.

All other creditors of the decedent and other persons having claims or demands against decedent’s estate must file their claims with this court WITHIN 3 MONTHS AFTER THE DATE OF THE FIRST PUBLICATION OF THIS NOTICE.

ALL CLAIMS NOT FILED WITHIN THE TIME PERIODS SET FORTH IN SECTION 733.702 OF THE FLORIDA PROBATE CODE WILL BE FOREVER BARRED.

NOTWITHSTANDING THE TIME PERIODS SET FORTH ABOVE, ANY CLAIM FILED TWO (2) YEARS OR MORE AFTER THE DECEDENT’S DATE OF DEATH IS BARRED.

The date of first publication of this notice is June 14, 2024.

Personal Representative is:

REYNA CERVANTES DE AVILA, whose address is 14520 S U.S. Hwy 301, Wimauma, FL 33598 /s/ Rolando Santiago Attorney for Personal Representative Rolando J. Santiago, Esq. RJS Law Group 306 N US Hwy 41 Ruskin, FL 33570

Tel: 813-641-0010

Fla. Bar No.: 557471

June 14, 21, 2024 24-01798H

SECOND INSERTION NOTICE TO CREDITORS IN THE CIRCUIT COURT OF THE 13TH JUDICIAL CIRCUIT IN AND FOR HILLSBORO COUNTY, FLORIDA PROBATE DIVISION File No. 24-CP-001666 DIV B IN RE: ESTATE OF AUNDRESS LAVERNE THOMAS, Deceased.

The administration of the estate of AUNDRESS LAVERNE THOMAS, Deceased, whose date of death was October 11, 2022, is pending in the Circuit Court for HILLSBORO County, Florida, Probate Division, the address of which is 800 E Twiggs St. Tampa, Fl. 33602. The names and addresses of the personal representative and the personal representative’s attorney are set forth below.

All creditors of the decedent and other persons having claims or demands against decedent’s estate on whom a copy of this notice is required to be served must file their claims with this court WITHIN THE LATER OF 3 MONTHS AFTER THE TIME OF THE FIRST PUBLICATION OF THIS NOTICE OR 30 DAYS AFTER THE DATE OF SERVICE OF A COPY OF THIS NOTICE ON THEM.

All other creditors of the decedent and other persons having claims or demands against decedent’s estate must file their claims with this court WITHIN 3 MONTHS AFTER THE DATE OF THE FIRST PUBLICATION OF THIS NOTICE.

ALL CLAIMS NOT FILED WITHIN THE TIME PERIODS SET FORTH IN SECTION 733.702 OF THE FLORIDA PROBATE CODE WILL BE FOREVER BARRED.

NOTWITHSTANDING THE TIME PERIODS SET FORTH ABOVE, ANY CLAIM FILED TWO (2) YEARS OR MORE AFTER THE DECEDENT’S DATE OF DEATH IS BARRED.

The date of first publication of this notice is June 14, 2024. BELINDA SIEVERT, Personal Representative

Attorney for Personal Representative: Scott R. Bugay, Esquire

Florida Bar No. 5207

Citicentre, Suite P600

290 NW 165th Street

Miami FL 33169

Telephone: (305) 956-9040

Fax: (305) 945-2905

Primary Email: Scott@srblawyers.com Secondary Email: angelica@srblawyers.com June 14, 21, 2024 24-01788H

SECOND INSERTION NOTICE TO CREDITORS IN THE CIRCUIT COURT OF THE THIRTEENTH JUDICIAL CIRCUIT IN AND FOR HILLSBOROUGH COUNTY, FLORIDA PROBATE DIVISION CASE NO.: 24-CP-001617 IN RE: ESTATE OF REBECCA ANN BONNE Deceased.

The administration of the estate of Rebecca Ann Bonne, deceased, File Number 24-CP-001617, is pending in the Circuit Court for Hillsborough County, Florida, Probate Division, the address of which 800 E. Twiggs Street, Tampa, Florida 33602. The names and addresses of the personal representative and the personal representative’s attorney are set forth below:

All creditors of the decedent and other persons having claims or demands against decedent’s estate, including unmatured, contingent or unliquidated claims, on whom a copy of this notice is served must file their claims with this Court WITHIN THE LATER OF THREE MONTHS AFTER THE DATE OF THE FIRST PUBLICATION OF THIS NOTICE OR THIRTY DAYS AFTER THE DATE OF SERVICE OF A COPY OF THIS NOTICE ON THEM.

All other creditors of the decedent and persons having claims or demands against the decedent’s estate, including unmatured, contingent or unliquidated claims, must file their claims with this court WITHIN THREE MONTHS AFTER THE DATE OF THE FIRST PUBLICATION OF THIS NOTICE. ALL CLAIMS NOT SO FILED WILL BE FOREVER BARRED.

The date of the first publication of this Notice is June 14, 2024.

Personal Representative: /s/ Michele M. Molinelli 3109 Empedrado Steet Tampa, FL 33629

Attorney for Personal Representative: /s/ Karen C.D. Gabbadon, FBN: 0002471

Quintairos, Prieto, Wood & Boyer, P.A. 1410 N. Westshore Boulevard, 2nd Floor Tampa, Florida 33607 PH: (813) 286-8818 / (813) 286-9998 – Facsimile E-Mail: kgabbadon@qpwblaw.com June 14, 21, 2024 24-01840H

SECOND INSERTION NOTICE TO CREDITORS IN THE CIRCUIT COURT FOR HILLSBOROUGH COUNTY, FLORIDA PROBATE DIVISION File No. 24-CP-001625 Division A IN RE: ESTATE OF ELEANOR LEWIS SCARFONE Deceased.

The administration of the estate of Eleanor Lewis Scarfone, deceased, whose date of death was January 18, 2024, is pending in the Circuit Court for Hillsborough County, Florida, Probate Division, the address of which is PO Box 3360 Tampa, FL 33601. The names and addresses of the personal representative and the personal representative’s attorney are set forth below.

All creditors of the decedent and other persons having claims or demands against decedent’s estate on whom a copy of this notice is required to be served must file their claims with this court ON OR BEFORE THE LATER OF 3 MONTHS AFTER THE TIME OF THE FIRST PUBLICATION OF THIS NOTICE OR 30 DAYS AFTER THE DATE OF SERVICE OF A COPY OF THIS NOTICE ON THEM.

All other creditors of the decedent and other persons having claims or demands against decedent’s estate must file their claims with this court WITHIN 3 MONTHS AFTER THE DATE OF THE FIRST PUBLICATION OF THIS NOTICE.

ALL CLAIMS NOT FILED WITHIN THE TIME PERIODS SET FORTH IN FLORIDA STATUTES SECTION 733.702 WILL BE FOREVER BARRED. NOTWITHSTANDING THE TIME PERIODS SET FORTH ABOVE, ANY CLAIM FILED TWO (2) YEARS OR MORE AFTER THE DECEDENT’S DATE OF DEATH IS BARRED.

The date of first publication of this notice is June 14, 2024.

Personal Representative: Rosario C. Scarfone, Jr. 17929 Spencer Rd Odessa, Florida 33556

Attorney for Personal Representative: J. Frazier Flasher, Attorney

Florida Bar Number: 1024903 Brown, Huff, Zohar, PLLC 6547 Gunn Hwy Tampa, FL 33625

Telephone: (813) 776-0031

E-Mail: Frazier@BHZLaw.com

Secondary E-Mail: Frazier@brownzoharlaw.com June 14, 21, 2024 24-01839H

SECOND INSERTION NOTICE TO CREDITORS IN THE CIRCUIT COURT FOR HILLSBOROUGH COUNTY, FLORIDA PROBATE DIVISION File Number 24-CP-001782 Division B Florida Bar No. 144663 IN RE: ESTATE OF ANNE C. WHEELER a/k/a THELMA ANNE WHEELER a/k/a THELMA ANNE CLAVILLE WHEELER Deceased. The administration of the estate of ANNE C. WHEELER a/k/a THELMA ANNE WHEELER a/k/a THELMA ANNE CLAVILLE WHEELER, deceased, whose date of death was February 3, 2024, is pending in the Circuit Court for Hillsborough County, Florida, Probate Division, the address of which is PO Box 1110, Tampa, Florida 33601. The names and addresses of the personal representative and the personal representative’s attorney are set forth below. All creditors of the decedent and other persons having claims or demands against decedent’s estate on whom a copy of this notice is required to be served must file their claims with this court ON OR BEFORE THE LATER OF 3 MONTHS AFTER THE TIME OF THE FIRST PUBLICATION OF THIS NOTICE OR 30 DAYS AFTER THE DATE OF SERVICE OF A COPY OF THIS NOTICE ON THEM. All other creditors of the decedent and other persons having claims or demands against decedent’s estate must file their claims with this court WITHIN 3 MONTHS AFTER THE DATE OF THE FIRST PUBLICATION OF THIS NOTICE.

ALL CLAIMS NOT FILED WITHIN THE TIME PERIODS SET FORTH IN FLORIDA STATUTES SECTION 733.702 WILL BE FOREVER BARRED.

NOTWITHSTANDING THE TIME PERIODS SET FORTH ABOVE, ANY CLAIM FILED TWO (2) YEARS OR MORE AFTER THE DECEDENT’S DATE OF DEATH IS BARRED. The date of first publication of this notice is JUNE 14, 2024.

Personal Representative Name: /s/ JANET E. WHEELER Address: 3571 Mott Rd., Dover, FL 33527 Attorney for Personal Representative /s/ Charles S. White, Esq., of CHARLES S. WHITE, P.A. Florida Bar No. 144663 110 E. REYNOLDS ST., STE. 900 Plant City, Florida 33563 Tel. 813-752-6155 Fax. 813-754-1758 Email: cswatty@aol.com 19133 June 14, 21, 2024 24-01789H

SECOND INSERTION NOTICE TO CREDITORS IN THE CIRCUIT COURT OF THE 13TH JUDICIAL CIRCUIT, IN AND FOR HILLSBOROUGH COUNTY, FLORIDA PROBATE DIVISION FILE NUMBER: 24-CP-001732 IN RE: THE ESTATE OF WILLIAM COPELAND, Deceased. The administration of The Estate of WILLIAM COPELAND, whose date of death was JULY 11, 2022, is pending in the Circuit Court for Hillsborough County, Florida, Probate Division, George E. Edgecomb Courthouse, 800 Twiggs St., Tampa, FL 33602. The names and addresses of the personal representative and the personal representative’s attorney are set forth below. All creditors of the decedent and other persons having claims or demands against decedent’s estate on whom a copy of this notice is required to be served must file their claims with this court WITHIN THE LATER OF 3 MONTHS AFTER THE TIME OF THE FIRST PUBLICATION OF THIS NOTICE OR 30 DAYS AFTER THE DATE OF SERVICE OF A COPY OF THIS NOTICE ON THEM. All other creditors of the decedent and other persons having claims or demands against decedent’s estate must file their claims with this court WITHIN 3 MONTHS AFTER THE DATE OF THE FIRST PUBLICATION OF THIS NOTICE. ALL CLAIMS NOT FILED WITHIN THE TIME PERIODS SET FORTH IN SECTION 733.702 OF THE FLORIDA PROBATE CODE WILL BE FOREVER BARRED. NOTWITHSTANDING THE TIME PERIODS SET FORTH ABOVE, ANY CLAIM FILED TWO (2) YEARS OR MORE AFTER THE DECEDENT’S DATE OF DEATH IS BARRED. The date of first publication of this notice is June 14, 2024. Personal Representative is: /s/ Rolando Santiago Attorney for Personal Representative Rolando J. Santiago, Esq. RJS Law Group 306 N US Hwy 41 Ruskin, FL 33570 Tel: 813-641-0010 Fla. Bar No.: 557471 June 14, 21, 2024 24-01803H

JUNE 21 – JUNE 27, 2024 BusinessObserverFL.com
--- ESTATE ---

SECOND INSERTION

NOTICE TO CREDITORS IN THE CIRCUIT COURT FOR HILLSBOROUGH COUNTY, FLORIDA

PROBATE DIVISION

File No. 24-CP-001825

Division B IN RE: ESTATE OF JAMES F. HENNESSY A/K/A

JAMES F. HENNESSY, JR.

Deceased.

The administration of the estate of James F. Hennessy a/k/a James F. Hennessy, Jr., deceased, whose date of death was January 1, 2024, is pending in the Circuit Court for Hillsborough County, Florida, Probate Division, the address of which is 800 E. Twiggs St., Tampa, Florida 33602. The names and addresses of the personal representative and the personal representative’s attorney are set forth below. All creditors of the decedent and other persons having claims or demands against decedent’s estate on whom a copy of this notice is required to be served must file their claims with this court ON OR BEFORE THE LATER OF 3 MONTHS AFTER THE TIME OF THE FIRST PUBLICATION OF THIS NOTICE OR 30 DAYS AFTER THE DATE OF SERVICE OF A COPY OF THIS NOTICE ON THEM. All other creditors of the decedent and other persons having claims or demands against decedent’s estate must file their claims with this court WITHIN 3 MONTHS AFTER THE DATE OF THE FIRST PUBLICATION OF THIS NOTICE. ALL CLAIMS NOT FILED WITHIN THE TIME PERIODS SET FORTH IN FLORIDA STATUTES SECTION 733.702 WILL BE FOREVER BARRED.

NOTWITHSTANDING THE TIME PERIODS SET FORTH ABOVE, ANY CLAIM FILED TWO (2) YEARS OR MORE AFTER THE DECEDENT’S DATE OF DEATH IS BARRED.

The date of first publication of this notice is June 14, 2024. Personal Representative: Colleen Hennessy

Attorney for Personal Representative: John A. Williams, Esq. Florida Bar No. 0486728

The Law Offices of John A. Williams, PLLC 7408 Van Dyke Road

Odessa, Florida 33556

Office (813) 402-0442

Fax (813) 210-8514

E-Mail:

john@johnawilliamslaw.com

Secondary E-Mail: ms@johnawilliamslaw.com

Secondary E-Mail: service@johnawilliamslaw.com

June 14, 21, 2024 24-01790H

SECOND INSERTION NOTICE TO CREDITORS IN THE CIRCUIT COURT FOR HILLSBOROUGH COUNTY, FLORIDA PROBATE DIVISION File No. 24-CP-001767 IN RE: ESTATE OF GILLIAN NOELLE DILLMAN, Deceased. The administration of the estate of Gillian Noelle Dillman, deceased, whose date of death was February 20, 2024, is pending in the Circuit Court for Hillsborough County, Florida, Probate Division, the address of which is 800 E. Twiggs Street, Tampa, Florida 33602. The names and addresses of the personal representatives and the personal representatives’ attorney are set forth below.

All creditors of the decedent and other persons having claims or demands against decedent’s estate on whom a copy of this notice is required to be served must file their claims with this court ON OR BEFORE THE LATER OF 3 MONTHS AFTER THE TIME OF THE FIRST PUBLICATION OF THIS NOTICE OR 30 DAYS AFTER THE DATE OF SERVICE OF A COPY OF THIS NOTICE ON THEM.

All other creditors of the decedent and other persons having claims or demands against decedent’s estate must file their claims with this court WITHIN 3 MONTHS AFTER THE DATE OF THE FIRST PUBLICATION OF THIS NOTICE.

ALL CLAIMS NOT FILED WITHIN THE TIME PERIODS SET FORTH IN FLORIDA STATUTES SECTION 733.702 WILL BE FOREVER BARRED.

NOTWITHSTANDING THE TIME PERIODS SET FORTH ABOVE, ANY CLAIM FILED TWO (2) YEARS OR MORE AFTER THE DECEDENT’S DATE OF DEATH IS BARRED.

The date of first publication of this notice is June 14, 2024.

Personal Representatives: Gretchen A. Dillman 1685 Cardinal Drive Dunedin, Florida 34698 Timothy R. Dillman 42 Park Avenue River Forest, Illinois 60305

Attorney for Personal Representatives: Jeffrey A. Herzog, Attorney Florida Bar Number: 16089

LAW OFFICES OF JEFFREY A. HERZOG, P.A. 3106 Alternate US 19 Palm Harbor, Florida 34683 Telephone: (727) 789-4000 Fax: (727) 789-4002

E-Mail: service@jherzoglaw.com

Secondary E-Mail: probate@jherzoglaw.com June 14, 21, 2024 24-01852H

SECOND INSERTION NOTICE TO CREDITORS (summary administration) IN THE CIRCUIT COURT FOR HILLSBOROUGH COUNTY, FLORIDA PROBATE DIVISION File No. 24-CP-001292

Division A IN RE: ESTATE OF ANNETTE DOROTHY COLEMAN, Deceased.

TO ALL PERSONS HAVING CLAIMS OR DEMANDS AGAINST THE ABOVE ESTATE:

You are hereby notified that an Order of Summary Administration has been entered in the estate of ANNETTE DOROTHY COLEMAN, deceased, File Number 24-CP-001292; by the Circuit Court for Hillsborough County, Florida, Probate Division, the address of which is 800 E. Twiggs Street, Tampa, FL 33602; that the decedent’s date of death was February 22, 2024; that the total value of the estate is exempt homestead real property and exempt motor vehicle with a net value of approximately $8,000 and that the names and addresses of those to whom it has been assigned by such order are:

Beneficiaries: Address

SHELAH ANN MARSH

1332 S. Park Hill Street Derby, KS 67037

JIM TOBY COLEMAN

126 East Lawrence Avenue Royal Oak, MI 48073

MARY LINDA BERGIN

1019 Brenton Leaf Drive Ruskin, FL 33570

ALL INTERESTED PERSONS ARE NOTIFIED THAT:

All creditors of the estate of the decedent and persons having claims or demands against the estate of the decedent other than those for whom provision for full payment was made in the Order of Summary Administration must file their claims with this court WITHIN THE TIME PERIODS SET FORTH IN FLORIDA STATUTES SECTION 733.702. ALL CLAIMS AND DEMANDS NOT SO FILED WILL BE FOREVER BARRED. NOTWITHSTANDING ANY OTHER APPLICABLE TIME PERIOD, ANY CLAIM FILED TWO (2) YEARS OR MORE AFTER THE DECEDENT’S DATE OF DEATH IS BARRED.

The date of first publication of this Notice is June 14, 2024.

Person Giving Notice:

SHELAH ANN MARSH

1332 S. Park Hill Street Derby, KS 67037

Attorney for Person Giving Notice:

JAMES S. EGGERT

Attorney for Petitioners

Email: jim@eggfitz.com

Secondary Email: leslie@eggfitz.com

Florida Bar No. 949711

EGGERT FITZPATRICK

811-B Cypress Village Blvd. Ruskin, FL 33573 Telephone: (813) 633-3396 June 14, 21, 2024 24-01792H

--- ACTIONS / SALES ---

THIRD INSERTION

NOTICE OF ACTION FOR DISSOLUTION OF MARRIAGE IN THE CIRCUIT COURT OF THE Thirteenth JUDICIAL CIRCUIT, IN AND FOR Hillsborough COUNTY, FLORIDA Case No.: 24-DR-005637 ANTONIO JUDGE, Petitioner and RHONDA COLEMAN, Respondent. TO: RHONDA COLEMAN 14626 GRENADINE DR., UNIT 2, TAMPA, FL 33613

YOU ARE NOTIFIED that an action for DISSOLUTION OF MARRIAGE has been filed against you and that you are required to serve a copy of your written defenses, if any, to it on ANTONIO JUDGE, whose address is 1709 E. GENESEE ST., TAMPA, FL 33610, on or before 7/8/2024, and file the original with the clerk of this Court at 800 E. TWIGGS ST., TAMPA, FL 33602, before service on Petitioner or immediately thereafter. If you fail to do so, a default may be entered against you for the relief demanded in the petition. Copies of all court documents in this case, including orders, are available at the Clerk of the Circuit Court’s office. You may review these documents upon request. You must keep the Clerk of the Circuit Court’s office notified of your current address. (You may file Designation of Current Mailing and E-Mail Address, Florida Supreme Court Approved Family Law Form 12.915.) Future papers in this lawsuit will be mailed or e-mailed to the addresses on record at the clerk’s office.

WARNING: Rule 12.285, Florida Family Law Rules of Procedure, requires certain automatic disclosure of documents and information. Failure to comply can result in sanctions, including dismissal or striking of pleadings.

Dated: MAY 31 2024. CLERK OF THE CIRCUIT COURT (SEAL) By: /s/ Erma Yerdon {Deputy Clerk} June 7, 14, 21, 28, 2024 24-01752H

NOTICE OF ACTION IN THE CIRCUIT COURT OF THE THIRTEENTH JUDICIAL CIRCUIT IN AND FOR HILLSBOROUGH COUNTY, FLORIDA. CIVIL DIVISION CASE NO. 23-CA-016153

DIVISION: I RF -Section II NEWREZ LLC D/B/A SHELLPOINT MORTGAGE SERVICING, Plaintiff, vs. STEVEN TYRONE CUMMINGS; SHAMEKA JOAN CRAWFORD; CREEK PRESERVE HOMEOWNERS ASSOCIATION, INC.; AQUA FINANCE, INC.; UNKNOWN TENANT NO. 1; UNKNOWN TENANT NO. 2; and ALL UNKNOWN PARTIES CLAIMING INTERESTS BY, THROUGH, UNDER OR AGAINST A NAMED DEFENDANT TO THIS ACTION, OR HAVING OR CLAIMING TO HAVE ANY RIGHT, TITLE OR INTEREST IN THE PROPERTY HEREIN DESCRIBED, Defendant(s). TO: STEVEN TYRONE CUMMINGS Last Known Addresses 1002 Nottingham Dr

NOTICE OF SALE PURSUANT TO CHAPTER 45 IN THE CIRCUIT COURT OF THE THIRTEENTH JUDICIAL CIRCUIT IN AND FOR HILLSBOROUGH COUNTY, FLORIDA GENERAL JURISDICTION

DIVISION CASE NO. 20-CA-007931

DIVISION: J RF -Section II

TOWD POINT MORTGAGE TRUST 2018-6, U.S. BANK NATIONAL ASSOCIATION, AS INDENTURE TRUSTEE, Plaintiff, vs. REDBRICK FINANCIAL GROUP INC.; AQUA FINANCE, INC.; THE UNKNOWN SPOUSES, HEIRS, DEVISEES, GRANTEES, CREDITORS, AND ALL OTHER PARTIES CLAIMING BY, THROUGH, UNDER OR AGAINST THE ESTATE OF WALTER KITSCHKE, DECEASED; CREIGHTON BEDFORD REED; UNKNOWN TENANT NO. 1; UNKNOWN TENANT NO. 2; and ALL UNKNOWN PARTIES CLAIMING INTERESTS BY, THROUGH, UNDER OR AGAINST A NAMED DEFENDANT TO THIS ACTION, OR HAVING OR CLAIMING TO HAVE ANY RIGHT, TITLE OR INTEREST IN THE PROPERTY HEREIN DESCRIBED, Defendant(s). NOTICE IS HEREBY GIVEN pursuant to an Order or Summary Final Judgment of foreclosure dated June 3, 2024, and entered in Case No. 20-CA-007931 of the Circuit Court in and for Hillsborough County, Florida, wherein TOWD POINT MORTGAGE TRUST 2018-6, U.S. BANK NATIONAL ASSOCIATION, AS INDENTURE TRUSTEE is

RE-NOTICE OF SALE PURSUANT TO CHAPTER 45 IN THE CIRCUIT COURT OF THE THIRTEENTH JUDICIAL CIRCUIT IN AND FOR HILLSBOROUGH COUNTY, FLORIDA. CIVIL DIVISION CASE NO. 19-CA-002347 DIVISION: A RF -Section I U.S. BANK TRUST NATIONAL ASSOCIATION, NOT IN ITS INDIVIDUAL CAPACITY, BUT SOLELY AS TRUSTEE OF THE TRUMAN 2021 SC9 TITLE TRUST, Plaintiff, vs. VEROLLA WILLIAMS A/K/A VEROLA HOWARD WILLIAMS A/K/A VEROLA WILLIAMS; CLERK OF THE CIRCUIT COURT OF HILLSBOROUGH COUNTY, FLORIDA; PROGRESSIVE AMERICAN INS. CO.; OCEAN HARBOR CASUALTY INSURANCE COMPANY; STATE OF FLORIDA; CITY OF TAMPA, FLORIDA; LOU WILLIAMS A/K/A LOU EDWARD DARNELL WILLIAMS; FLORIDA HOUSING FINANCE CORPORATION; UNKNOWN TENANT NO. 1; UNKNOWN TENANT NO. 2; and ALL UNKNOWN PARTIES CLAIMING INTERESTS BY, THROUGH, UNDER OR AGAINST A NAMED DEFENDANT TO THIS ACTION, OR HAVING OR CLAIMING TO HAVE ANY RIGHT, TITLE OR INTEREST IN THE PROPERTY HEREIN DESCRIBED, Defendant(s). NOTICE IS HEREBY GIVEN pursuant to a Summary Final Judgment of Foreclosure dated September 22, 2023, and an Order Resetting Sale dated June 5, 2024 and entered in Case No. 19-CA002347 of the Circuit Court in and for Hillsborough County, Florida, wherein U.S. BANK TRUST NATIONAL ASSOCIATION, NOT IN ITS INDIVIDUAL CAPACITY, BUT SOLELY AS

--- ACTIONS / SALES --SECOND INSERTION

Panama City, FL 32401

Current Residence is Unknown YOU ARE NOTIFIED that an action to foreclose a mortgage on the following described property in Hillsborough County, Florida: LOT 104, OF CREEK PRESERVE PHASES 2, 3 AND 4, ACCORDING TO THE PLAT THEREOF, AS RECORDED IN PLAT BOOK 139, PAGE 60, OF THE PUBLIC RECORDS OF HILLSBOROUGH COUNTY, FLORIDA. Property address: 5462 Grays Harbor Court; Wimauma, FL 33598 has been filed against you and you are required to serve a copy of your written defenses, if any, to it on Diaz Anselmo & Associates, P.A., Plaintiff’s attorneys, whose address is P.O. BOX 19519, Fort Lauderdale, FL 33318, (954) 564-0071, answers@dallegal.com, on or before July 18, 2024, and file the original with the Clerk of this Court either before service on Plaintiff’s attorneys or immediately thereafter; otherwise a default will be entered against you for the relief demanded in the complaint or petition. IF YOU ARE A PERSON WITH A DISABILITY WHO NEEDS ANY ACCOMMODATION IN ORDER TO PARTICIPATE IN THIS PROCEED-

Plaintiff and REDBRICK FINANCIAL GROUP INC.; AQUA FINANCE, INC.; THE UNKNOWN SPOUSES, HEIRS, DEVISEES, GRANTEES, CREDITORS, AND ALL OTHER PARTIES CLAIMING BY, THROUGH, UNDER OR AGAINST THE ESTATE OF WALTER KITSCHKE, DECEASED; CREIGHTON BEDFORD REED; UNKNOWN TENANT NO. 1; UNKNOWN TENANT NO. 2; and ALL UNKNOWN PARTIES CLAIMING INTERESTS BY, THROUGH, UNDER OR AGAINST A NAMED DEFENDANT TO THIS ACTION, OR HAVING OR CLAIMING TO HAVE ANY RIGHT, TITLE OR INTEREST IN THE PROPERTY HEREIN DESCRIBED, are Defendants, CINDY STUART, Clerk of the Circuit Court, will sell to the highest and best bidder for cash online at http://www. hillsborough.realforeclose.com, 10:00 a.m., on July 11, 2024 , the following described property as set forth in said Order or Final Judgment, to-wit: THE EAST 5 FEET OF LOT 9 AND ALL OF LOT 10 AND THE WEST 1/2 OF LOT 11, BLOCK 5, OF SPEEDWAY PARK, UNIT NO. 1, ACCORDING TO THE MAP OR PLAT THEREOF AS RECORDED IN PLAT BOOK 18, PAGE 15A, OF THE PUBLIC RECORDS OF HILLSBOROUGH COUNTY, FLORIDA. TOGETHER WITH THAT CERTAIN 1975 CRIM MOBILE HOME, VEHICLE ID #2657714 AND TITLE #10701074 ANY PERSON CLAIMING AN INTEREST IN THE SURPLUS FROM THE SALE, IF ANY, OTHER THAN THE PROPERTY OWNER AS OF THE DATE OF THE LIS PENDENS MUST FILE A CLAIM BEFORE THE CLERK REPORTS THE SURPLUS

INSERTION

TRUSTEE OF THE TRUMAN 2021 SC9 TITLE TRUST is Plaintiff and VEROLLA WILLIAMS A/K/A VEROLA HOWARD WILLIAMS A/K/A VEROLA WILLIAMS; CLERK OF THE CIRCUIT COURT OF HILLSBOROUGH COUNTY, FLORIDA; PROGRESSIVE AMERICAN INS. CO.; OCEAN HARBOR CASUALTY INSURANCE COMPANY; STATE OF FLORIDA; CITY OF TAMPA, FLORIDA; LOU WILLIAMS A/K/A LOU EDWARD DARNELL WILLIAMS; FLORIDA HOUSING FINANCE CORPORATION; UNKNOWN TENANT NO. 1; UNKNOWN TENANT NO. 2; and ALL UNKNOWN PARTIES CLAIMING INTERESTS BY, THROUGH, UNDER OR AGAINST A NAMED DEFENDANT TO THIS ACTION, OR HAVING OR CLAIMING TO HAVE ANY RIGHT, TITLE OR INTEREST IN THE PROPERTY HEREIN DESCRIBED, are Defendants, CINDY STUART, the Clerk of the Circuit Court, will sell to the highest and best bidder for cash online at http://www. hillsborough.realforeclose.com, at 10:00 a.m., on August 5, 2024, the following described property as set forth in said Order or Final Judgment, towit: THE NORTH 1/2 OF THE EAST 1/2 OF LOT 2 AND THE NORTH 1/2 OF LOT 3, BLOCK 7, OF SUBDIVISION OF THE EAST 1/2 OF THE NORTHEAST 1/4 OF THE SOUTHEAST 1/4 IN SECTION 7, TOWNSHIP 29 SOUTH, RANGE 19 EAST, ACCORDING TO THE MAP OR PLAT THEREOF RECORDED IN PLAT BOOK 1, PAGE 19, OF THE PUBLIC RECORDS OF HILLSBOROUGH COUNTY, FLORIDA. ANY PERSON CLAIMING AN INTEREST IN THE SURPLUS FROM THE SALE, IF ANY, OTHER THAN THE PROPERTY OWNER AS OF THE DATE OF THE LIS PENDENS

ING, YOU ARE ENTITLED, AT NO COST TO YOU, TO THE PROVISION OF CERTAIN ASSISTANCE. TO REQUEST SUCH AN ACCOMMODATION, PLEASE CONTACT THE ADMINISTRATIVE OFFICE OF THE COURTS WITHIN TWO WORKING DAYS OF THE DATE THE SERVICE IS NEEDED: COMPLETE THE REQUEST FOR ACCOMMODATIONS FORM AND SUBMIT TO 800 E. TWIGGS STREET, ROOM 604 TAMPA, FL 33602. IF YOU ARE HEARING IMPAIRED, CALL 1-800955-8771, VOICE IMPAIRED, CALL 1-800-955-8770 OR EMAIL ADA@ FLJUD13.ORG. DATED on June 12, 2024. Cindy Stuart As Clerk of the Court (SEAL) By: /s/ Mustafa Divan As Deputy Clerk Diaz Anselmo & Associates, P.A. Plaintiff’s attorneys P.O. BOX 19519 Fort Lauderdale, FL 33318 (954) 564-0071 answers@dallegal.com 1496-195390 / VP2 June 14, 21, 2024 24-01854H

AS UNCLAIMED. THE COURT, IN ITS DESCRETION, MAY ENLARGE THE TIME OF THE SALE. NOTICE OF THE CHANGED TIME OF SALE SHALL BE PUBLISHED AS PROVIDED HEREIN. Pursuant to Florida Statute 45.031(2), this notice shall be published twice, once a week for two consecutive weeks, with the last publication being at least 5 days prior to the sale. IF YOU ARE A PERSON WITH A DISABILITY WHO NEEDS ANY ACCOMMODATION IN ORDER TO PARTICIPATE IN THIS PROCEEDING, YOU ARE ENTITLED, AT NO COST TO YOU, TO THE PROVISION OF CERTAIN ASSISTANCE. TO REQUEST SUCH AN ACCOMMODATION, PLEASE CONTACT THE ADMINISTRATIVE OFFICE OF THE COURTS WITHIN TWO WORKING DAYS OF THE DATE THE SERVICE IS NEEDED: COMPLETE THE REQUEST FOR ACCOMMODATIONS FORM AND SUBMIT TO 800 E. TWIGGS STREET, ROOM 604 TAMPA, FL 33602. IF YOU ARE HEARING IMPAIRED, CALL 1-800955-8771, VOICE IMPAIRED, CALL 1-800-955-8770 OR EMAIL ADA@ FLJUD13.ORG. DATED June 6, 2024. By: /s/

MUST FILE A CLAIM BEFORE THE CLERK REPORTS THE SURPLUS AS UNCLAIMED. THE COURT, IN ITS DESCRETION, MAY ENLARGE THE TIME OF THE SALE. NOTICE OF THE CHANGED TIME OF SALE SHALL BE PUBLISHED AS PROVIDED HEREIN. Pursuant to Florida Statute 45.031(2), this notice shall be published twice, once a week for two consecutive weeks, with the last publication being at least 5 days prior to the sale. IF YOU ARE A PERSON WITH A DISABILITY WHO NEEDS ANY ACCOMMODATION IN ORDER TO PARTICIPATE IN THIS PROCEEDING, YOU ARE ENTITLED, AT NO COST TO YOU, TO THE PROVISION OF CERTAIN ASSISTANCE. TO REQUEST SUCH AN ACCOMMODATION, PLEASE CONTACT THE ADMINISTRATIVE

FL 33602. IF YOU ARE HEARING IMPAIRED, CALL 1-800955-8771, VOICE IMPAIRED, CALL 1-800-955-8770 OR EMAIL ADA@ FLJUD13.ORG.

June 6, 2024.

JUNE 21 - JUNE 27, 2024 BUSINESS OBSERVER HILLSBOROUGH COUNTY 26
--- ESTATE ---
SECOND INSERTION SECOND
800
TWIGGS STREET, ROOM 604 TAMPA,
By: /s/ Lisa Woodburn Lisa A Woodburn Florida Bar No.: 11003 Roy Diaz, Attorney of Record Florida Bar No. 767700 Diaz Anselmo & Associates, P.A. Attorneys for Plaintiff 499 NW 70th Ave., Suite 309 Fort Lauderdale, FL 33317 Telephone: (954) 564-0071 Facsimile: (954) 564-9252 Service E-mail: answers@dallegal.com 1460-184313 / SR4 June 14, 21, 2024 24-01846H
OFFICE OF THE COURTS WITHIN TWO WORKING DAYS OF THE DATE THE SERVICE IS NEEDED: COMPLETE THE REQUEST FOR ACCOMMODATIONS FORM AND SUBMIT TO
E.
DATED
C.
Florida Bar No.:
Diaz, Attorney
Record
Bar No.
Diaz Anselmo & Associates,
Attorneys for Plaintiff 499 NW 70th Ave., Suite 309 Fort Lauderdale, FL 33317 Telephone: (954)
SR4
14, 21, 2024
Email your Legal Notice legal@businessobserverfl.com Deadline Wednesday at noon • Friday Publication SARASOTA • MANATEE HILLSBOROUGH • PASCO PINELLAS • POLK • LEE COLLIER •CHARLOTTE SAVE TIME LV20906_V19
Ian Dolan Ian
Dolan
757071 Roy
of
Florida
767700
P.A.
564-0071 Facsimile: (954) 564-9252 Service E-mail: answers@dallegal.com 1162-174327 /
June
24-01847H

SECOND INSERTION

NOTICE OF FORECLOSURE SALE IN THE THIRTEENTH JUDICIAL CIRCUIT COURT IN AND FOR HILLSBOROUGH COUNTY, FLORIDA

Case# 2019-CA-9372

DIV G KATRINA L. IRWIN, as Trustee and individually, plaintiff, vs. HOME FORECLOSURE DEFENSE, LLC, a Florida limited liability company, and the UNKNOWN TENANTS OF HOME FORECLOSURE DEFENSE, LLC, the CITY OF TAMPA, FLORIDA, and PLANT CITY, FLORIDA, defendants.

NOTICE IS HEREBY GIVEN pursuant to the Final Judgment dated the 15th day of May 2024, and entered in Case No. 2019-CA-9372 of the Circuit Court of the Thirteenth Judicial Circuit in and for Hillsborough County, Florida., the Clerk of the Court will sell to the highest and best bidder for cash., the following described property as set forth in said Final Judgment, to-wit:

PROPERTY: Parcel 1: The West 50 feet of the East 401.5 feet of the South 3/4 of the Southeast 1/4 of the Northwest 1/4 of the Southeast 1/4 less the South 25 feet for road in Section 32, Township 28 South, Range 19 East in the Public Records of Hillsborough County, Florida Parcel 2: Lot 4, Block 26 of SOUTH LINCOLN PARK, according to the plat or map there-

of recorded in Plat Book 4, page 95 of the public records of Hillsborough County, Florida, together with the north one-half of the vacated alley abutting on the south as set forth in Ordinance in O.R. Book 5811, page 691 of the Public Records of Hillsborough County, Florida. The judicial sale will be conducted electronically on-line at the following website: http://www.hillsborough. realforeclose.com at 10:00 a.m. on the 3rd day of July, 2024. Any person claiming an interest in the surplus from the sale, if any, other than the property owner as of the date of the lis pendens must file a claim before the clerk reports the surplus as unclaimed PERSONS WITH DISABILITIES IN HILLSBOROUGH COUNTY

If you are a person with a disability who needs an accommodation, you are entitled, at no cost to you, to the provision of certain assistance. To request such an accommodation please contact the Clerk’s ADA Coordinator within seven working days of the date the service is needed. if you are hearing or voice impaired, call 711. Clerk of Court & Comptroller’s Office ADA Coordinator 601 E Kennedy Blvd, Tampa, FL 33602 813.276.8100, ext 7039 DATED, this 6th day of June, 2024. WOODS & WOODS, P. A. Attorneys for the plaintiff by: /s/ T. Michael Woods June 14, 21, 2024 24-01802H

SECOND INSERTION

RE NOTICE OF FORECLOSURE SALE IN THE CIRCUIT COURT OF THE 13TH JUDICIAL CIRCUIT, IN AND FOR HILLSBOROUGH COUNTY, FLORIDA

CIVIL DIVISION: G CASE NO.: 20-CA-002256 NATIONSTAR MORTGAGE LLC, Plaintiff, vs. UNKNOWN HEIRS, BENEFICIARIES, DEVISEES, ASSIGNEES, LIENORS, CREDITORS, TRUSTEES AND ALL OTHERS WHO MAY CLAIM INTEREST IN THE ESTATE OF JULIO C. ESTRELLA, et al., Defendants. NOTICE IS HEREBY GIVEN pursuant to the Final Judgment of Foreclosure entered on the 15th day of April 2024, in Case No. 20-CA-002256, of the Circuit Court of the 13TH Judicial Circuit in and for Hillsborough County, Florida, wherein, NATIONSTAR MORTGAGE LLC, is the Plaintiff and UNKNOWN HEIRS, BENEFICIARIES, DEVISEES, ASSIGNEES, LIENORS, CREDITORS, TRUSTEES AND ALL OTHERS WHO MAY CLAIM INTEREST IN THE ESTATE OF JULIO C. ESTRELLA; JOSE B. ESTRELLA; ROSARIO ESTRELLA; UNKNOWN TENANT #1 N/K/A SARAH TORRES AND UNKNOWN TENANT #2, are the Defendants. The Clerk of this Court shall sell to the highest and best bidder for cash electronically at www. hillsborough.realforeclose.com, the Clerk’s website for on-line auctions at, 10:00 AM on the 31st day of July 2024, the following described property as set forth in said Final Judgment, to wit:

NOTICE OF FORECLOSURE SALE IN THE CIRCUIT COURT OF THE THIRTEENTH JUDICIAL CIRCUIT IN AND FOR HILLSBOROUGH COUNTY, FLORIDA GENERAL JURISDICTION DIVISION CASE NO. 10-CA-013401 BANK OF AMERICA NA, Plaintiff, vs. TYESHA N. WALKER, et al. Defendant(s). NOTICE IS HEREBY GIVEN pursuant to a Final Judgment of Foreclosure dated August 31, 2022, and Amended Final Judgement Nunc Pro Tunc, and entered in 10-CA-013401 of the Circuit Court of the THIRTEENTH Judicial Circuit in and for Hillsborough County, Florida, wherein FEDERAL NATIONAL MORTGAGE ASSOCIATION is the Plaintiff and CITY OF TAMPA; TYESHA N WALKER; UNKNOWN SPOUSE OF TYESHA WALKER are the Defendant(s). Cindy Stuart as the Clerk of the Circuit Court will sell to the highest and best bidder for cash at www.hillsborough.realforeclose.com, at 10:00 AM, on July 11, 2024, the following described property as set forth in said Final Judgment, to wit: LOT 15, BLOCK 9, BELVEDERE PARK SUBDIVISION AKA CARVER CITY SUBDIVISION, ACCORDING TO THE MAP OR PLAT THEREOF AS RECORDED IN PLAT BOOK 22, PAGE(S) 44, PUBLIC RECORDS OF HILLSBOROUGH COUNTY, FLORIDA. Property Address: 4006 W LA SALLE ST, TAMPA, FL 33607

Any person claiming an interest in the surplus from the sale, if any, other than the property owner as of the date of the lis pendens must file a claim in accordance with Florida Statutes, Section

HILLSBOROUGH COUNTY 27

--- ACTIONS / SALES --SECOND INSERTION

RE NOTICE OF FORECLOSURE SALE IN THE CIRCUIT COURT OF THE 13TH JUDICIAL CIRCUIT, IN AND FOR HILLSBOROUGH COUNTY, FLORIDA

CIVIL DIVISION: I CASE NO.: 2023-CA-011719 LAKEVIEW LOAN SERVICING, LLC, Plaintiff, vs. BRETT RAY, et al., Defendants.

LOT 3. BLOCK “E” PINCREST VILLA ADDITION NO. 3, ACCORDING TO MAP OR PLAT THEREOF AS RECORDED IN PLAT BOOK 16, PAGE 51 OF THE PUBLIC RECORDS OF HILLSBOROUGH COUNTY, FLORIDA. Property Address: 7222 N. CORTEZ AVENUE, TAMPA, FL 33614

ANY PERSON CLAIMING AN INTEREST IN THE SURPLUS FROM THE SALE, IF ANY, OTHER THAN THE PROPERTY OWNER AS OF THE DATE OF THE LIS PENDENS MUST FILE A CLAIM WITH THE CLERK BEFORE THE CLERK REPORTS THE SURPLUS AS UNCLAIMED.

If you are a person with a disability who needs an accommodation in order to access court facilities or participate in a court proceeding, you are entitled, at no cost to you, to the provision of certain assistance. To request such an accommodation, please contact Court Administration within 2 working days of the date the service is needed: Complete the Request for Accommodations Form and submit to 800 E. Twiggs Street, Room 604, Tampa, FL 33602. Dated this 7th day of June 2024. By: /s/ Ian Norych Ian Norych, Esq. Bar Number: 56615 DELUCA LAW GROUP, PLLC 2101 NE 26th Street FORT LAUDERDALE, FL 33305 PHONE: (954) 368-1311 | FAX: (954) 200-8649 DESIGNATED PRIMARY E-MAIL FOR SERVICE PURSUANT TO FLA. R. JUD. ADMIN 2.516 service@delucalawgroup.com 19-04361-1 June 14, 21, 2024 24-01804H

45.031. IMPORTANT AMERICANS WITH DISABILITY ACT: If you are a person with a disability who needs an accommodation in order to access court facilities or participate in a court proceeding, you are entitled, at no cost to you, to the provision of certain assistance. To request such an accommodation, please contact the Administrative Office of the Court as far in advance as possible, but preferably at least (7) days before your scheduled court appearance or other court activity of the date the service is needed: Complete the Request for Accommodations Form and submit to 800 E. Twiggs Street, Room 604 Tampa, FL 33602. Please review FAQ’s for answers to many questions. You may contact the Administrative Office of the Courts ADA Coordinator by letter, telephone or e-mail: Administrative Office of the Courts, Attention: ADA Coordinator, 800 E. Twiggs Street, Tampa, FL 33602, Phone: 813-272-7040, Hearing Impaired: 1-800-955-8771, Voice impaired: 1-800-955-8770, e-mail: ADA@fljud13.org

Dated this 7 day of June, 2024.

ROBERTSON, ANSCHUTZ, SCHNEID, CRANE & PARTNERS, PLLC Attorney for Plaintiff 6409 Congress Ave., Suite 100 Boca Raton, FL 33487 Telephone: 561-241-6901 Facsimile: 561-997-6909

Service Email: flmail@raslg.com By: \S\Danielle Salem Danielle Salem, Esquire Florida Bar No. 0058248 Communication Email: dsalem@raslg.com 19-280223 - GrS June 14, 21, 2024 24-01841H

NOTICE IS HEREBY GIVEN pursuant to the In Rem Final Judgment of Foreclosure entered on the 27th day of February 2024, in Case No. 2023CA-011719, of the Circuit Court of the 13TH Judicial Circuit in and for Hillsborough County, Florida, wherein, LAKEVIEW LOAN SERVICING, LLC, is the Plaintiff and BRETT RAY; UNKNOWN SPOUSE OF BRETT RAY; CLERK OF COURT, HILLSBOROUGH COUNTY, FLORIDA; HERON PARK VILLAS HOMEOWNERS’ ASSOCIATION, INC; FISHHAWK RANCH HOMEOWNERS’ ASSOCIATION, INC; UNKNOWN TENANT #1 AND UNKNOWN TENANT #2, are the Defendants. The Clerk of this Court shall sell to the highest and best bidder for cash electronically at www. hillsborough.realforeclose.com, the Clerk’s website for on-line auctions at, 10:00 AM on the 16th day of July 2024, the following described property as set forth in said Final Judgment, to wit: LOT 20, BLOCK 7, OF FISHHAWK RANCH PHASE 2, PARCEL D, UNIT 1, ACCORDING TO THE MAP OR PLAT THEREOF, AS RECORDED IN

PLAT BOOK 84, PAGE 26, OF THE PUBLIC RECORDS OF HILLSBOROUGH COUNTY, FLORIDA.

Property Address: 5814 HERONPARK PLACE, LITHIA, FL 33547 ANY PERSON CLAIMING AN INTEREST IN THE SURPLUS FROM THE SALE, IF ANY, OTHER THAN THE PROPERTY OWNER AS OF THE DATE OF THE LIS PENDENS MUST FILE A CLAIM WITH THE CLERK BEFORE THE CLERK REPORTS THE SURPLUS AS UNCLAIMED.

If you are a person with a disability who needs an accommodation in order to access court facilities or participate in a court proceeding, you are entitled, at no cost to you, to the provision of certain assistance. To request such an accommodation, please contact Court Administration within 2 working days of the date the service is needed: Complete the Request for Accommodations Form and submit to 800 E. Twiggs Street, Room 604, Tampa, FL 33602. Dated this 7th day of June 2024. By: /s/ Ian Norych

Ian Norych, Esq.

Bar Number: 56615

DELUCA LAW GROUP, PLLC 2101 NE 26th Street

FORT LAUDERDALE, FL 33305

PHONE: (954) 368-1311 | FAX: (954) 200-8649

DESIGNATED PRIMARY E-MAIL FOR SERVICE PURSUANT TO FLA. R. JUD. ADMIN 2.516 service@delucalawgroup.com 23-05562

June 14, 21, 2024 24-01805H

THIRD INSERTION

NOTICE OF ACTION FOR DISSOLUTION OF MARRIAGE (NO CHILD OR FINANCIAL SUPPORT) IN THE CIRCUIT COURT OF THE THIRTEENTH JUDICIAL CIRCUIT IN AND FOR HILLSBOROUGH COUNTY, FLORIDA FAMILY LAW DIVISION CASE NO: 24-DR-000063 DIVISION: B IN RE THE MARRIAGE OF: KATHLEEN BELL ABRAMS, Petitioner/Wife, -andKENNETH ANTHONY ABRAMS, Respondent/Husband. TO: KENNETH ANTHONY ABRAMS 11439 Cambray Creek Loop Riverview, Florida 33579

YOU ARE NOTIFIED that an action for dissolution of marriage has been filed against you and that you are required to serve a copy of your written defenses, if any, to it on KATHLEEN BELL ABRAMS, Petitioner, whose address is 11439 Cambray Creek Loop, Riverview, Florida 33579, on or before JULY 3, 2024, and file the original with the clerk of this Court at Hillsborough County Clerk of Court, 800 E. Twiggs

Street, Tampa, FL 33602, before service on Petitioner or immediately thereafter. If you fail to do so, a default may be entered against you for the relief demanded in the petition. Copies of all court documents in this case, including orders, are available at the Clerk of the Circuit Court’s office. You may review these documents upon request.

You must keep the Clerk of the Circuit Court’s office notified of your current address. (You may file Designation of Current Mailing and E-Mail Address, Florida Supreme Court Approved Family Law Form 12.915.) Future papers in this lawsuit will be mailed or e-mailed to the address(es) on record at the clerk’s office.

WARNING: Rule 12.285, Florida Family Law Rules of Procedure, requires certain automatic disclosure of documents and information. Failure to comply can result in sanctions, including dismissal or striking of pleadings.

DATED: 5/28/2024

CINDY STUART

CLERK OF THE CIRCUIT COURT (SEAL) By: /s/ Isha Tirado-Baker Deputy Clerk June 7, 14, 21, 28, 2024 24-01756H

THIRD INSERTION

NOTICE OF ACTION FOR PUBLICATION IN THE CIRCUIT COURT OF THE THIRTEENTH JUDICIAL CIRCUIT IN AND FOR HILLSBOROUGH COUNTY, STATE OF FLORIDA DOMESTIC RELATIONS DIVISION UNIFIED FAMILY COURT CASE NO.: 24-DR-3459 DIVISION: B IN RE: THE MATTER OF: AUGUST GONCALVES, III

Petitioner, and RACHAEL ELLEN GARCIA, Respondent. TO: RACHAEL ELLEN GARCIA 1601 52nd Street South Gulfport, Florida 33707

You are notified that an action for Verified Amended Petition to Establish Parental Responsibility, Timesharing Schedule, and Other Related Relief, has been filed against you and you are required to serve a copy of your written defenses, if any, to it on Martha E. Aristizabal, Esq., of BUSCIGLIO SHERIDAN & SCHOEB, P.A., whose address is 3302 N. Tampa St., Tampa, Florida 33603 on or before JULY 10, 2024. You must file the original with the clerk of

this court at 800 E. Twiggs St., Tampa, Florida 33602 either before service on Petitioner’s counsel or immediately after service. Otherwise, a default will be entered against you for the relief demanded in the Petition.

Copies of all court documents in this case, including Orders, are available at the Clerk of the Circuit Court’s office. You may review these documents upon request.

You must keep the Clerk of the Circuit Court’s office notified of your current address. (You may file Notice of Current Address, Florida Supreme Court Approved Family Law Form 12.915.) Future papers in this lawsuit will be mailed to the address on record at the clerk’s office.

WARNING: Rule 12.285, Florida Family Law of Procedure, requires certain automatic disclosure of documents and information. Failure to comply can result in sanctions, including dismissal or striking of pleadings.

Dated: 6/4/2024

CINDY STUART

CLERK OF THE CIRCUIT COURT

(SEAL) By: /s/ Isha Tirado-Baker Deputy Clerk

June 7, 14, 21, 28, 2024 24-01785H

NOTICE OF SALE

PURSUANT TO CHAPTER 45 IN THE CIRCUIT COURT OF THE THIRTEENTH JUDICIAL CIRCUIT IN AND FOR HILLSBOROUGH COUNTY, FLORIDA CIVIL ACTION CASE NO.: 29-2022-CA-002720

DIVISION: F WILMINGTON SAVINGS FUND SOCIETY, FSB, NOT IN ITS INDIVIDUAL CAPACITY BUT SOLELY AS OWNER TRUSTEE OF CSMC 2019-RPL3 TRUST, Plaintiff, vs. THE UNKNOWN HEIRS, DEVISEES, GRANTEES, ASSIGNEES, LIENORS, CREDITORS, TRUSTEES, OR OTHER CLAIMANTS CLAIMING BY, THROUGH, UNDER, OR AGAINST, CAROLE N. HENNING A/K/A CAROLE HENNING, DECEASED, et al, Defendant(s). NOTICE IS HEREBY GIVEN Pursuant to a Final Judgment of Foreclosure dated May 24, 2024, and entered in Case No. 29-2022-CA-002720 of the Circuit Court of the Thirteenth Judicial Circuit in and for Hillsborough County, Florida in which Wilmington Savings Fund Society, FSB, not in its individual capacity but solely as Owner Trustee of CSMC 2019RPL3 Trust, is the Plaintiff and The Unknown Heirs, Devisees, Grantees, Assignees, Lienors, Creditors, Trustees, or other Claimants claiming by, though, under, or against, Carole N. Henning a/k/a Carole Henning, deceased, Unknown Party 1 NKA James Fahslman, James Clarence Fahlman, Lesley Nagler a/k/a Lesley NaglerDavison, Tina Aline Baxter, United States of America, Department of the Treasury, Coastal Green Energy Solutions, LLC, are defendants, the Hillsborough County Clerk of the Circuit Court will sell to the highest and best bidder for cash in/on online at electronically/online at http://www.

NOTICE OF ACTIONCONSTRUCTIVE SERVICE IN THE CIRCUIT COURT OF THE THIRTEENTH JUDICIAL CIRCUIT IN AND FOR HILLSBOROUGH COUNTY, FLORIDA GENERAL JURISDICTION DIVISION CASE NO. 24-CA-002187 METROPOLITAN LIFE INSURANCE COMPANY, Plaintiff vs. SAMUEL B. GOMEZ AND ANDRES O. ARENCIBIA AND MARCELA ARENCIBIA, et al. Defendant(s), TO: SAMUEL B. GOMEZ, UNKNOWN SPOUSE OF SAMUEL B. GOMEZ, who residence is unknown and all parties having or claiming to have any right, title or interest in the property described in the mortgage being foreclosure herein. YOU ARE HEREBY NOTIFIED that an action to foreclosure a mortgage on the following property: ALL THAT PARCEL OF LAND IN CITY OF TAMPA, HILLSBOROUGH COUNTY, STATE OF FLORIDA, AS DESCRIBED IN DEED BOOK 21056, PAGE 1516, ID#U-30-28-18-175-00000200003.1, BEING KNOWN AND DESIGNATED AS: 175 OAK VIEW TERRACE PHASE

hillsborough.realforeclose.com, Hillsborough County, Florida at 10:00 AM on the July 24, 2024 the following described property as set forth in said Final Judgment of Foreclosure: LOT 15, BLOCK 2, COUNTRYSIDE MANOR SUBDIVISION, ACCORDING TO THE PLAT THEREOF AS RECORDED IN PLAT BOOK 43, PAGE(S) 80, OF THE PUBLIC RECORDS OF HILLSBOROUGH COUNTY, FLORIDA. A/K/A 1405 BIG OAK COURT BRANDON FL 33511

Any person claiming an interest in the surplus from the sale, if any, other than the property owner as of the date of the Lis Pendens must file a claim before the Clerk reports the surplus as unclaimed. In Accordance with the Americans with Disabilities Act, if you are a person with a disability who needs any accommodation in order to participate in this proceeding, you are entitled, at no cost to you, to the provision of certain assistance. Please contact the ADA Coordinator, Hillsborough County Courthouse, 800 E. Twiggs St., Room 604, Tampa, Florida 33602, (813) 272-7040, at least 7 days before your scheduled court appearance, or immediately upon receiving this notification if the time before the scheduled appearance is less than 7 days; if you are hearing or voice impaired,

2024. ALBERTELLI LAW P. O. Box 23028 Tampa, FL 33623 Tel: (813) 221-4743 Fax: (813) 221-9171 eService: servealaw@albertellilaw.com By: /s/ Justin Swosinski Florida Bar #96533 Justin Swosinski, Esq. LR-20-012526 June 14, 21, 2024 24-01813H

JUNE 21 – JUNE 27, 2024 BusinessObserverFL.com
SECOND INSERTION
SECOND INSERTION
INSERTION
SECOND
call
To file response please contact Hillsborough County Clerk of Court, P.O. Box
Tampa, FL 33601, Tel:
276-
272-5508.
day
May,
711.
989,
(813)
8100; Fax: (813)
Dated this 29
of
PART
3
2
AS: FROM NE COR RUN S
DEG 35 MIN 00 SEC
ON CURVE ON SLY BDRY TON NWLY ALG SLY BDRY 17.18 FT, ALG ARC OF CURVE TO LEFT W/ RAD 440 FT CHD BRG AND DIST N 63 DEG 12 MIN 25 SEC W 17.18 FT THN N 214.51 FT THN 4.50 FT THN 41.15 FT TO NLY BDRY THN N 85 MIN 00 SEC E 19.89 FT ALG NLY BDRY TO POB has been filed against you and you are required to serve a copy of written defenses, if any, to it on counsel for Plaintiff whose address is 409 Congress Avenue, Suite 100, Boca Raton, Florida 33487 on or before 7/14/24 /(30 days from Date of First Publication of this Notice) and file the original with the clerk of this court either before service on Plaintiff’s attorney or immediately thereafter; otherwise a default will be entered against you for the relief demanded in the complaint or petition filed herein. THIS NOTICE SHALL BE PUBLISHED ONCE A WEEK FOR TWO (2) CONSECUTIVE WEEKS. WITNESS my hand and the seal of this Court at County, Florida this 1st day of June, 2024. CLERK OF THE CIRCUIT COURT BY: Patricia Corbin DEPUTY CLERK Robertson, Anschutz, Schneid, Crane & Partners, PLLC 6409 Congress Ave., Suite 100 Boca Raton, FL 33487 PRIMARY EMAIL: flmail@raslg.com 24-179868 June 14, 21, 2024 24-01848H LEGAL NOTICE PUBLISH YOUR Call 941-906-9386 and select the appropriate County name from the menu. or email legal@businessobserverfl.com LV20878_V8 LV20906 SAVE Deadline Wednesday at noon Friday Publication SARASOTA • MANATEE HILLSBOROUGH • PASCO PINELLAS • POLK • LEE COLLIER •CHARLOTTE
2 THAT
OF LOT
BLOCK
DESC
85
W 50.09 FT, ALG NLY BDRY TO POB THN S 264.94 FT TO POINT

SECOND INSERTION

NOTICE OF ACTION IN THE CIRCUIT COURT OF THE 13TH JUDICIAL CIRCUIT, IN AND FOR HILLSBOROUGH COUNTY, FLORIDA

Case No.: 24-CA-003588

Division: C GREENSPRING CAPITAL MANAGEMENT, LLC, NOT IN ITS INDIVIDUAL CAPACITY, BUT SOLELY AS ADMINISTRATOR OF RMH 2023-2 TRUST, Plaintiff, vs. ALL UNKNOWN HEIRS, CREDITORS, DEVISEES, BENEFICIARIES, GRANTEES, ASSIGNEES, LIENORS, TRUSTEES, AND ALL OTHER PARTIES CLAIMING AN INTEREST BY, THROUGH, UNDER, OR AGAINST JANE T. BROWN, SUN CITY CENTER COMMUNITY ASSOCIATION, INC., UNKNOWN TENANT #1, UNKNOWN TENANT #2, Defendants.

To: All Unknown Heirs, Creditors, Devisees, Beneficiaries, Grantees, Assignees, Lienors, Trustees, and all other parties claiming an interest by, through, under, or against Jane T. Brown Last Known Address: 604 Ojai Avenue, Sun City Center, Florida 33573 Current Address: 604 Ojai Avenue, Sun City Center, Florida 33573 YOU ARE HEREBY NOTIFIED that an action has been instituted to foreclose a Mortgage covering the following real and personal property described as follows, to wit: Lot 2, Block GG, DEL WEBB’S SUN CITY FLORIDA UNIT NUMBER 30, according to plat thereof as recorded in Plat Book 42, Page 92, of the Public Records of Hillsborough County, Florida. Property Address: 604 Ojai Avenue, Sun City Center, Florida 33573 Each Defendant is required to serve written defenses to the Complaint or Petition on Gary M. Singer, Esq., Law Firm of Gary M. Singer. P.A., Plaintiff’s attorney, whose address is 12 S.E. 7th Street, Ste. 820, Fort Lauderdale, FL

33301, and to file the original of the defenses with the Clerk of this Court, on or before the 30th day following the first publication of this notice JULY 15, 2024, otherwise a Judgment may be entered against you for the relief demanded in the Complaint. You may also e-mail the written defenses to the Complaint to the following e-mail addresses: service@ garysingerlaw.com and/or singer@ garysingerlaw.com.

This Notice should be published once a week for two consecutive weeks in the Business Observer.

If you are a person with a disability who needs an accommodation in order to access court facilities or participate in a court proceeding, you are entitled, at no cost to you, to the provision of certain assistance. To request such an accommodation, please contact Court Administration at least 7 days before your scheduled court appearance, or immediately upon receiving a notification of a scheduled court proceeding if the time before the scheduled appearance is less than 7 days. Complete the Request for Accommodations Form and submit to 800 E. Twiggs Street, Room 604, Tampa, FL 33602. ADA Coordination Help Line (813) 272-7040; Hearing Impaired Line 1-800-955-8771; Voice Impaired Line 1-800-955-8770.

WITNESS my hand and seal of said Court at Hillsborough County, Florida, this 7 day of JUNE, 2024. CINDY STUART As Clerk of the Court (SEAL) By: /s/ Isha Tirado-Baker Deputy Clerk Respectfully Submitted, LAW FIRM OF GARY M. SINGER, P.A. 12 SE 7th Street, Suite 820 Fort Lauderdale, FL 33301 Telephone: (954) 851-1448 Facsimile: (954) 252-2189 service@garysingerlaw.com singer@garysingerlaw.com By: /s/ Gary M. Singer Gary M. Singer, Esq. Florida Bar No.: 544906 June 14, 21, 2024 24-01851H

SECOND INSERTION

NOTICE OF SALE IN THE CIRCUIT COURT OF THE THIRTEENTH JUDICIAL CIRCUIT IN AND FOR HILLSBOROUGH COUNTY, FLORIDA CASE NO. 23-CA-014799

WILMINGTON TRUST, N.A., NOT IN ITS INDIVIDUAL CAPACITY, BUT SOLELY AS TRUSTEE OF MFRA TRUST 2021-1 Plaintiff, v. WILSON HOME REALTY LLC, A FLORIDA LIMITED LIABILITY COMPANY; CHRISTOPHER CHARLES WILSON; 3522 W PRICE AVE LLC, A FLORIDA LIMITED LIABILITY COMPANY; SARAH WILSON KOMOLL; UNKNOWN TENANT 1; UNKNOWN TENANT 2; 706 PENNSYLVANIA LLC, A FLORIDA LIMITED LIABILITY COMPANY; CITY OF TAMPA, FLORIDA, A MUNICIPAL CORPORATION; HELPING HAND INVESTMENTS, LLC, A FLORIDA LIMITED LIABILITY COMPANY; PATRON PROPERTIES TAMPA, LLC, A FLORIDA LIMITED LIABILITY COMPANY; COREY STEINER Defendants.

Notice is hereby given that, pursuant to the Final Judgment of Foreclosure entered on April 10, 2024, in this cause, in the Circuit Court of Hillsborough County, Florida, the office of Cindy Stuart, Clerk of the Circuit Court, shall sell the property situated in Hillsborough County, Florida, described as: LOT 12 AND THE WEST 12 FEET OF LOT 11, BLOCK 4, GANDY BOULEVARD PARK

2ND ADDITION, A SUBDIVISION ACCORDING TO THE PLAT THEREOF RECORDED IN PLAT BOOK 31, PAGE 25, OF THE PUBLIC RECORDS OF HILLSBOROUGH COUN-

TY, FLORIDA. a/k/a 3522 W PRICE AVE, TAMPA, FL 33611-3636 at public sale, to the highest and best bidder, for cash, online at http://www. hillsborough.realforeclose.com, on July 12, 2024 beginning at 10:00 AM.

Any person claiming an interest in the surplus from the sale, if any, other than the property owner as of the date of the lis pendens must file a claim before the clerk reports the surplus as unclaimed.

If you are a person with a disability who needs an accommodation in order to access court facilities or participate in a court proceeding, you are entitled, at no cost to you, to the provision of certain assistance. To request such an accommodation, please contact the Administrative Office of the Court as far in advance as possible, but preferably at least (7) days before your scheduled court appearance or other court activity of the date the service is needed by contacting: Administrative Office of the Courts, Attention: ADA Coordinator, 800 E. Twiggs Street , Tampa, FL 33602 Phone: 813-272-7040 , Hearing Impaired: 1-800-955-8771; Voice impaired: 1-800955-8770 ; or e-mail: ADA@fljud13.org

Dated at St. Petersburg, Florida this 7th. day of June, 2024. eXL Legal, PLLC Designated Email Address: efiling@exllegal.com 12425 28th Street North, Suite 200 St. Petersburg, FL 33716 Telephone No. (727) 536-4911

Attorney for the Plaintiff /s/ Isabel López Rivera FL Bar: 1015906 1000009255 June 14, 21, 2024 24-01814H

--- ACTIONS / SALES ---

SECOND INSERTION

NOTICE OF FORECLOSURE SALE IN THE CIRCUIT COURT OF THE 13TH JUDICIAL CIRCUIT, IN AND FOR HILLSBOROUGH COUNTY, FLORIDA

CIVIL DIVISION: CASE NO.: 24-CA-001222 SECTION # RF U.S. BANK NATIONAL ASSOCIATION, NOT IN ITS INDIVIDUAL CAPACITY BUT SOLELY AS INDENTURE TRUSTEE, FOR THE HOLDERS OF THE CIM TRUST 2020-R2, MORTGAGE-BACKED NOTES, SERIES 2020-R2, Plaintiff, vs. UNKNOWN HEIRS, BENEFICIARIES, DEVISEES, ASSIGNEES, LIENORS, CREDITORS, TRUSTEES AND ALL OTHERS WHO MAY CLAIM AN INTEREST IN THE ESTATE OF DAISY L. MILTON; JOYCE VANESSA BAKER; LINDA DARNES; DAISY L. MILTON; BETHEL LENTON PIERCE, II; UNKNOWN TENANT IN POSSESSION OF THE SUBJECT PROPERTY, Defendants.

NOTICE IS HEREBY GIVEN pursuant to an Order or Final Judgment entered in the above styled cause now pending in said court and as required by Florida Statute 45.031(2), CINDY STUART as the Clerk of the Circuit Court shall sell to the highest and best bidder for cash electronically at www.hillsborough. realforeclose.com the Clerk’s website for on-line auctions at, 10:00 AM on the 31 day of July, 2024, the following described property as set forth in said Final Judgment, to wit: LOT 18, BLOCK 1, OF EL CERRO SUBDIVISION, ACCORDING TO THE MAP OR PLAT THEREOF AS RECORDED IN PLAT BOOK 1, PAGE 55, OF THE PUBLIC RECORDS OF HILLSBOROUGH COUNTY, FLORIDA. PROPERTY ADDRESS: 1713W PALMETTO ST, TAMPA, FL 33607 IF YOU ARE A PERSON CLAIM-

ING A RIGHT TO FUNDS REMAINING AFTER THE SALE, YOU MUST FILE A CLAIM WITH THE CLERK NO LATER THAN THE DATE THAT THE CLERK REPORTS THE FUNDS AS UNCLAIMED. IF YOU FAIL TO FILE A CLAIM, YOU WILL NOT BE ENTITLED TO ANY REMAINING FUNDS. AFTER THE FUNDS ARE REPORTED AS UNCLAIMED, ONLY THE OWNER OF RECORD AS OF THE DATE OF THE LIS PENDENS MAY CLAIM THE SURPLUS.

If you are a person with a disability who needs an accommodation in order to access court facilities or participate in a court proceeding, you are entitled, at no cost to you, to the provision of certain assistance. To request such an accommodation, please contact the Administrative Office of the Court as far in advance as possible, but preferably at least (7) days before your scheduled court appearance or other court activity of the date the service is needed: Complete the Request for Accommodations Form and submit to 800 E. Twiggs Street, Room 604 Tampa, FL 33602. Please review FAQ’s for answers to many questions. You may contact the Administrative Office of the Courts ADA Coordinator by letter, telephone or e-mail: Administrative Office of the Courts, Attention: ADA Coordinator, 800 E. Twiggs Street, Tampa, FL 33602, Phone: 813-272-7040, Hearing Impaired: 1-800-955-8771, Voice impaired: 1-800-955-8770, e-mail: ADA@fljud13.org

Dated this 6 day of June 2024. By: /s/ Lindsay Maisonet Lindsay Maisonet, Esq. Bar Number: 93156

Submitted by: De Cubas & Lewis, P.A. PO Box 5026 Fort Lauderdale, FL 33310

Telephone: (954) 453-0365

Facsimile: (954) 771-6052

Toll Free: 1-800-441-2438

DESIGNATED PRIMARY E-MAIL FOR SERVICE PURSUANT TO FLA. R. JUD. ADMIN 2.516 eservice@decubaslewis.com 23-02531

June 14, 21, 2024 24-01801H

SECOND INSERTION

NOTICE OF SALE IN THE COUNTY COURT OF THE THIRTEENTH JUDICIAL CIRCUIT IN AND FOR HILLSBOROUGH COUNTY, FLORIDA CIVIL DIVISION CASE NO. 17-CC-032586 DIV. J PLANTATION HOMEOWNERS, INC. Plaintiff, vs. SERAFIN GONZALEZ, RUTH GONZALEZ AND MAYRA D. FERNANDEZ,ESTATE OF SERAFIN GONZALEZ, BY AND THROUGH ITS UNKNOWN PERSONAL REPRESENTATIVE, UNKNOWN HEIRS AND BENEFICIARIES OF THE ESTATE OF SERAFIN GONZALEZ, JOHN DOE AND JANE DOE AND ALL OTHER PERSONS IN POSSESSION OF THE SUBJECT REAL PROPERTY WHOSE NAMES ARE UNCERTAIN, Defendants, Notice is hereby given that pursuant to the Order Granting Motion to Reopen Case, Enforce Settlement Agreement and Final Judgment of Foreclosure in the above-captioned action, I will sell the property situated in Hillsborough County, Florida, described as: A parcel of land lying in GROVE POINT VILLAGE UNIT I, as per map or plat thereof recorded in Plat Book 47 on Page 6 of the Public Records of Hillsborough County, Florida, being a part of Lot 24 more particularly described as follows: Commence at the Northerly most corner of said Lot 24; said point being the point of beginning; thence from the point of beginning run South 52°591 3011 East, 54.0 feet; thence South 37°00’30” West, 10.0 feet; thence South 52°591

3011 East, 37.0 feet to the Northwesterly right of way of Key Lime Way; thence along the aforementioned right of way run South 37°001 3011 West, 46.0 feet; thence leaving said right of way run North 52°59’30°West, 36.45 feet; thence North 33°51’3711 East, 10.01 feet; thence North 52°59’3011 West, 54.0 feet; thence North 37°00’30” East, 46.00 feet to the point of beginning. at public sale, to the highest and best bidder for cash, at www.hillsborough. realforeclose.com at 10:00 a.m., on the 26th day of July 2024. If you are a person with a disability who needs an accommodation in order to access court facilities or participate in a court proceeding, you are entitled, at no cost to you, to the provision of certain assistance. To request such an accommodation, please contact Court Administration at least 7 days before your scheduled court appearance, or immediately upon receiving a notification of a scheduled court proceeding if the time before the scheduled appearance is less than 7 days. Complete the Request for Accommodations Form and submit to 800 E. Twiggs Street, Room 604, Tampa, FL 33602. ADA Coordination Help Line (813) 272-7040; Hearing Impaired Line 1-800-955-8771; Voice Impaired Line 1-800-955-8770.

DATED this 12th day of June, 2024.

FRISCIA & ROSS, P.A. Brenton J. Ross, Esquire Florida Bar #0012798 5550 W. Executive Drive, Suite 250 Tampa, Florida 33609 (813) 286-0888 /(813) 286-0111 (FAX) Attorneys for Plaintiff June 14, 21, 2024 24-01855H

NOTICE OF ACTIONCONSTRUCTIVE SERVICE IN THE CIRCUIT COURT OF THE THIRTEENTH JUDICIAL CIRCUIT IN AND FOR HILLSBOROUGH COUNTY, FLORIDA GENERAL JURISDICTION DIVISION CASE NO. 24-CA-003655

U.S. BANK NATIONAL ASSOCIATION, AS TRUSTEE FOR THE STRUCTURED ASSET INVESTMENT LOAN TRUST MORTGAGE PASS-THROUGH CERTIFICATES, SERIES 2004-11, Plaintiff, vs. HE UNKNOWN HEIRS, BENEFICIARIES, DEVISEES, GRANTEES, ASSIGNEES, LIENORS, CREDITORS, TRUSTEES AND ALL OTHERS WHO MAY CLAIM AN INTEREST IN THE ESTATE OF PEARL BELLAMY, DECEASED, et. al. Defendant(s), TO: THE UNKNOWN HEIRS, BENEFICIARIES, DEVISEES, GRANTEES, ASSIGNEES, LIENORS, CREDITORS, TRUSTEES AND ALL OTHERS WHO MAY CLAIM AN INTEREST IN THE ESTATE OF PEARL BELLAMY, DECEASED, whose residence is unknown if he/she/ they be living; and if he/she/they be dead, the unknown defendants who may be spouses, heirs, devisees, grantees, assignees, lienors, creditors, trustees, and all parties claiming an interest by, through, under or against the Defendants, who are not known to be dead or alive, and all parties having or claiming to have any right, title or interest in the property described in the mortgage being foreclosed herein.

YOU ARE HEREBY NOTIFIED that an action to foreclose a mortgage on the following property: LOT 10, IN BLOCK 16 OF MADISON PARK, A SUBDIVISION ACCORDING TO THE PLAT THEREOF, RECORDED IN PLAT BOOK 7, PAGE 30, OF THE PUBLIC RECORDS OF HILLSBOR-

NOTICE OF ACTION IN THE CIRCUIT COURT OF THE THIRTEENTH JUDICIAL CIRCUIT, IN AND FOR HILLSBOROUGH COUNTY, FLORIDA

CIVIL DIVISION CASE NO: 24-CA-003296

DIVISION: E HARRIS LOYD GLASGOW, AS TRUSTEE OF THE HARRIS LOYD GLASGOW REVOCABLE LIVING TRUST, U/A DATED FEBRUARY 21, 2002, Plaintiff, vs. DONNETTE MARIE CERVANTES, an Individual, CICORRA CERVATES, an individual, ASHLEY OAKS CONDOMINIUM ASSOCIATION, INC., a Florida Non-Profit Corporation and UNKNOWN TENANTS, Defendants. TO THE FOLLOWING DEFENDANTS: DONNETTE MARIE CERVANTES UNKNOWN TENANTS YOU ARE NOTIFIED that an action to an action to foreclose a real estate mortgage on the following described property: Legal Description: Lot 13, of Ashley Oaks Mobile Home Park, a Condominium according to the Declaration of Condominium thereof recorded in Official Records Book 5768, page 957, and as per plat thereof recorded in Condominium Book 12, Page 63, of the Public Records of Hillsborough County, Florida, and any amendments thereto, together with its undivided share in the common elements; Together with: 2000 CHAM doublewide Mobile Home Title No: 94537557, Identification No: FLA 14615349A and Mobile Home Title No: 94537600, Identification No: FLA 14615349B. Address: 9305 Ashley Oaks Court, Tampa, Florida 33610 Parcel ID Number: U-06-29-20-286-00000000013.0 has been filed against you and you are required to serve a copy of your written defenses, if any, to it, on:

OUGH COUNTY, FLORIDA. has been filed against you and you are required to serve a copy of your written defenses, if any, to it on counsel for Plaintiff, whose address is 6409 Congress Ave., Suite 100, Boca Raton, Florida 33487 on or before 07/10/2024/ (30 days from Date of First Publication of this Notice) and file the original with the clerk of this court either before service on Plaintiff’s attorney or immediately thereafter; otherwise a default will be entered against you for the relief demanded in the complaint or petition filed herein. THIS NOTICE SHALL BE PUBLISHED ONCE A WEEK FOR TWO (2) CONSECUTIVE WEEKS. If you are a person with a disability who needs an accommodation in order to access court facilities or participate in a court proceeding, you are entitled, at no cost to you, to the provision of certain assistance. To request such an accommodation, please contact Court Administration at least 7 days before your scheduled court appearance, or immediately upon receiving a notification of a scheduled court proceeding if the time before the scheduled appearance is less than 7 days. Complete the Request for Accommodations Form and submit to 800 E. Twiggs Street, Room 604, Tampa, FL 33602. ADA Coordination Help Line (813) 272-7040;

WALTER SOWA, III, ESQ.

Attorney for the Plaintiff 435 12th Street West, Suite 206 Bradenton, FL 34205 Telephone: (941) 840-0820 Email Address: Walter@SowaLegal.com within 28 days after the first publication of this notice in the Business Observer (Hillsborough) and file the original with the Clerk of this Court at 800 E. Twiggs Street, Room 101, Tampa, FL 33602, either before service on plaintiff or immediately thereafter. If a defendant fails to do so, a default will be entered against that defendant for the relief demanded in the complaint. If you are a person with a disability who needs an accommodation in order to access court facilities or participate in a court proceeding, you are entitled, at no cost to you, to the provision of certain assistance. To request such an accommodation, please contact Court Administration at least 7 days before your scheduled court appearance, or immediately upon receiving a notification of a scheduled court proceeding if the time before the scheduled appearance is less than 7 days. Complete the Request for Accommodations Form and submit to 800 E. Twiggs Street, Room 604, Tampa, FL 33602. ADA Coordination Help Line (813) 272-7040; Hearing Impaired Line 1-800-955-8771; Voice Impaired Line 1-800-955-8770.

WITNESS my hand and seal of the Court this 29 day of May,

JUNE 21 - JUNE 27, 2024 BUSINESS OBSERVER HILLSBOROUGH COUNTY 28
SECOND INSERTION
SECOND INSERTION
2024.
5/29/2024 CINDY STUART Clerk of the Circuit Court (Seal) BY: /s/ Isha Tirado-Baker As Deputy Clerk P.O. Box 3360 Tampa, FL 33601 800 E. Twiggs St. Room 101 Tampa, FL 33602 Submitted by: Walter Sowa, III, Esq. The Law Office of Walter Sowa, III, PL 435 12th Street West, Suite 206 Bradenton, FL 34205 Telephone: (941) 840-0820 Florida Bar No. 0102220 June 14, 21, 2024 24-01816H
DATED:
Hearing Impaired Line 1-800-955-8771; Voice Impaired Line 1-800-955-8770. WITNESS my hand and the seal of this Court at County, Florida, this day of JUN 01 2024. CLERK OF THE CIRCUIT COURT (SEAL) BY: /s/ Patricia Corbin DEPUTY CLERK ROBERTSON, ANSCHUTZ, AND SCHNEID, PL ATTORNEY FOR PLAINTIFF 6409 Congress Ave., Suite 100 Boca Raton, FL 33487 PRIMARY EMAIL: flmail@raslg.com 23-148284 June 14, 21, 2024 24-01849H LV18237_V13 Who benefits from legal notices? You do. Legal notices are required because a government body or corporation wants to take action that can affect individuals and the public at large. When the government is about to change your life, or your property or assets are about to be taken, public notices in newspapers serve to alert those affected. Call 941-906-9386 or email legal@businessobserverfl.com • We offer an online payment portal for easy credit card payment • Service includes us e-filing your affidavit to the Clerk’s office on your behalf We publish all Public sale, Estate & Court-related notices LEGAL NOTICE PUBLISH YOUR and select the appropriate County name from the menu option LV20878_V20

PASCO COUNTY

PASCO COUNTY LEGAL NOTICES

--- PUBLIC SALES ---

FIRST INSERTION

Notice of Public Hearing and Board of Supervisors Meeting of the Country Walk Community Development District

The Board of Supervisors (the “Board”) of the Country Walk Community Development District (the “District”) will hold a public hearing and a meeting on August 8, 2024, at 6:00 p.m. at the Country Walk Clubhouse, 30400 Country Pointe Blvd., Wesley Chapel, Florida 33543.

The purpose of the public hearing is to receive public comments on the proposed adoption of the District’s fiscal year 2024-2025 proposed budget and the proposed levy of its annually recurring non-ad valorem special assessments for operation and maintenance to fund the items described in the proposed budget (the “O&M Assessments”).

At the conclusion of the public hearing, the Board will, by resolution, adopt a final budget, provide for the levy, collection, and enforcement of the O&M Assessments, and certify an assessment roll. A meeting of the Board will also be held where the Board may consider any other business that may properly come before it.

A copy of the proposed budget, preliminary assessment roll, and the agenda may be viewed on the District’s website at least 2 days before the meeting https://www. countrywalkcdd.org/, or may be obtained by contacting the District Manager’s office via email at jminichino@rizzetta.com or via phone at (813) 994-1001, extension 7859.

The table below presents the proposed schedule of the O&M Assessments. Amounts are preliminary and subject to change at the meeting and in any future year.

TOTAL O&M BUDGET

COLLECTION COSTS @2%

EARLY PAYMENT DISCOUNTS@4%

TOTAL O&M ASSESSMENT

$1,327,732.00

$28,249.62

$56,499.23

$1,412,480.85 LOT SIZE UNITS PER LOT O&M

The O&M Assessments (in addition to debt assessments, if any) will appear on the November 2024 property tax bill. Amount shown includes all applicable collection costs. Property owner is eligible for a discount of up to 4% if paid early. The County Tax Collector will collect the assessments for all lots and parcels within the District. Alternatively, the District may elect to directly collect its assessments in accordance with Chapter 190, Florida Statutes. Failure to pay the District’s assessments will cause a tax certificate to be issued against the property which may result in a loss of title or a foreclosure action to be filed against the property. All affected property owners have the right to appear at the public hearing and to file written objections with the District within 20 days of publication of this notice. The public hearing and meeting are open to the public and will be conducted in accordance with the provisions of Florida law for community development districts. They may be continued to a date, time, and place to be specified on the record at the hearing or meeting. There may be occasions when staff or Board members may participate by speaker telephone. The public may attend the meeting at the Clubhouse or by conference line. Please check the District’s website at https://www.countrywalkcdd.org/ prior to the public hearing/meeting date for the call in number in order to attend via the conference line.

In accordance with the provisions of the Americans with Disabilities Act, any person requiring special accommodations because of a disability or physical impairment should contact the District Manager’s office at least 2 business days prior to the meeting. If you are hearing or speech impaired, please contact the Florida Relay Service at 711 or 1-800-955-8771 (TTY), or 1-800-955-8770 (voice) for aid in contacting the District Manager’s office.

Each person who decides to appeal any decision made by the Board with respect to any matter considered at the public hearing or meeting is advised that person will need a record of proceedings and that accordingly, the person may need to ensure that a verbatim record of the proceedings is made, including the testimony and evidence upon which such appeal is to be based.

FIRST INSERTION

FICTITIOUS NAME NOTICE

Notice Is Hereby Given that WellMed Medical Management of Florida, Inc., 19500 IH-10W, MR1-10, San Antonio, TX 78257, desiring to engage in business under the fictitious name of WellMed at Land O’Lakes, with its principal place of business in the State of Florida in the County of Pasco, intends to file an Application for Registration of Fictitious Name with the Florida Department of State. June 21, 2024 24-01128P

FIRST INSERTION

Notice Under Fictitious Name Law

According to Florida Statute Number 865.09

NOTICE IS HEREBY GIVEN that the undersigned, desiring to engage in business under the Fictitious Name of Cake Magic located at 29608 Forest Glen Dr in the City of Wesley Chapel, Pasco County, FL 33543 intends to register the said name with the Division of Corporations of the Department of State, Tallahassee, Florida.

Dated this 15th day of June, 2024. Kothai Jayabhalan June 21, 2024 24-01129P

FIRST INSERTION

Notice Under Fictitious Name Law

According to Florida Statute Number 865.09

NOTICE IS HEREBY GIVEN that the undersigned, desiring to engage in business under the Fictitious Name of Star Light Management Insurance Agency located at 6903 Congress Street in the City of New Port Richey, Pasco County, FL 34653 intends to register the said name with the Division of Corporations of the Department of State, Tallahassee, Florida.

Dated this 18th day of June, 2024. Star Light Management Group LLC June 21, 2024 24-01130P

Seven Oaks Community Development District (the “District”) hereby requests proposals to provide services relating to playground design and build services for Seven Oaks Community Development District, all as more specifically set forth in the Project Manual.

The Project Manual will be available beginning Friday, June 21, 2024, at 9:00 a.m. (EST). The project manual will be available electronically and a paper copy of the manual can be picked up at the Seven Oaks Clubhouse located at 2910 Sports Core Circle, Wesley Chapel, FL 33544. The District Manager shall be the contact person regarding the Project Manual. Mr. Scott Brizendine can be reached by email at SBrizendine@Rizzetta.com.

Firms desiring to submit proposals must submit the required proposal electronically no later than 5:00 p.m. (EST) on Friday, July 26, 2024, to the District Manager at the email address listed above. There will be a Review of Proposals and Interviews of Firms at 6:00 p.m. (EST) on Wednesday, August 14, 2024, at the Seven Oaks Clubhouse located at 2910 Sports Core Circle, Wesley Chapel, FL 33544. Failure to attend may preclude the District’s consideration of a proposal submitted by a nonattending proposer.

The District is a special-purpose taxing District created by Chapter 190 Florida Statutes. The Entities submitting proposals must be able to provide for the level of service as outlined in the Project Manual and meet the following qualifications: (i) fully licensed and insured, (ii) 5 years minimum continuous operation (iii) experience with at least three other projects of a similar nature, size and amenity level to the Seven Oaks CDD project, with verifiable references on those projects, (iv) Proposer must be in good financial standing with no history of bankruptcy or financial reorganization, and (v) Proposer will be encouraged to have made a site visit prior to submitting the proposal and will be responsible for 100% of their own area takeoffs.

The District has the right to reject any and all proposals, make modifications to the work, and waive any minor informalities and irregularities in proposals as it deems appropriate, if it determines in its discretion that it is in the best interest of the District to do so.

Any person who wishes to protest the Project Manual, or any component thereof, shall file with the District a written notice of protest within seventy-two (72) hours after the Project Manual is made available, and shall file a formal written protest with the District within seven (7) calendar days after the date of timely filing the initial notice of protest. Filing will be perfected and deemed to have occurred upon receipt by the District Manager, Rizzetta & Co., 5844 Old Pasco Road, Suite 100, Wesley Chapel, FL 33544. Failure to timely file a notice of protest or failure to timely file a formal written protest shall constitute a waiver of any right to object to or protest the contents of the District’s Project Manual. The formal written protest shall state with particularity the facts and law upon which the protest is based.

Ranking of proposals will be made on the basis of qualifications according to the evaluation criteria contained within the Project Manual. Any and all questions relative to this project shall be directed in writing, by e-mail only, to Scott Brizendine at SBrizendine@Rizzetta.com, no later than Wednesday, July 24, 2024, at 2:00 p.m. (EST). Firms desiring to provide services for this project must submit one (1) digital PDF copy of the required proposal by 5:00 p.m. (EST) on Friday, July 26, 2024, by emailing District Manager Scott Brizendine at SBrizendine@Rizzetta.com. Proposals shall be submitted via electronic mail, shall bear the name of the proposer in the subject line of the email, and shall identify the name of the project. Proposals will be reviewed, and bidding firms interviewed at 6:00 p.m. (EST) on Wednesday, August 14, 2024, at the Seven Oaks Clubhouse located at 2910 Sports Core Circle, Wesley Chapel, FL 33544. Failure to attend may preclude the District’s consideration of a proposal submitted by a non-attending proposer. Any proposal not completed as specified or missing the required proposal documents as provided in the Project Manual may be disqualified.

Seven Oaks Community Development District

Scott Brizendine, District Manager June 21, 2024 24-01123P

FIRST INSERTION

FIRST INSERTION

THE PRESERVE AT SOUTH BRANCH COMMUNITY DEVELOPMENT DISTRICT

NOTICE OF REGULAR MEETING OF THE BOARD OF SUPERVISORS

Notice is hereby given that the Board of Supervisors (“Board”) of The Preserve at South Branch Community Development District (“District”) will hold a regular meeting of its Board on July 2, 2024, at 9:00 a.m. at the Residence Inn located at 2101 Northpoint Parkway, Lutz, FL 33558. At such time the Board is so authorized and may consider any business that may properly come before it. A copy of the agenda may be obtained at the offices of the District Manager, Vesta District Services, 250 International Parkway, Suite 208, Lake Mary, Florida 32746, Ph: (321) 263-0132 (“District Manager’s Office”), during normal business hours.

The meeting is open to the public and will be conducted in accordance with the provisions of Florida law. The meeting may be continued to a date, time, and place to be specified on the record at the meeting. There may be occasions when Board Supervisors or District Staff may participate by speaker telephone.

Any person requiring special accommodations at the meeting because of a disability or physical impairment should contact the District Manager’s Office at least forty-eight (48) hours prior to the meeting. If you are hearing or speech impaired, please contact the Florida Relay Service by dialing 7-1-1, or 1-800-955-8771 (TTY) / 1-800-9558770 (Voice), for aid in contacting the District Manager’s Office.

Any person who decides to appeal any decision made by the Board with respect to any matter considered at the meeting is advised that person will need a record of proceedings and that accordingly, the person may need to ensure that a verbatim record of the proceedings is made, including the testimony and evidence upon which such appeal is to be based. June 21, 2024 24-01124P

FIRST INSERTION

NOTICE OF FINAL AGENCY ACTION BY THE SOUTHWEST FLORIDA WATER MANAGEMENT DISTRICT

Notice is given that the District’s Final Agency Action is approval of the application for an Environmental Resource Permit to serve Residential activities on 246.30 acres known as Pasadena Ridge Phases 1A, 1B & 1C.

The project is located in Pasco County, Section(s) 19, 20, 30, Township 25 South, Range 21 East. The permit applicant is VOPH Master Development Corp whose address is 4065 Crescent Park Dr., Riverview, FL 33578. The Permit No. is 43046074.001.

The file(s) pertaining to the project referred to above is available for inspection Monday through Friday except for legal holidays, 8:00 a.m. to 5:00 p.m., at the Southwest Florida Water Management District, 7601 U.S. Highway 301 North, Tampa, Florida 33637. NOTICE OF RIGHTS

Any person whose substantial interests are affected by the District’s action regarding this matter may request an administrative hearing in accordance with Sections 120.569 and 120.57, Florida Statutes (F.S.), and Chapter 28-106, Florida Administrative Code (F.A.C.), of the Uniform Rules of Procedure. A request for hearing must (1) explain how the substantial interests of each person requesting the hearing will be affected by the District’s action, or proposed action; (2) state all material facts disputed by each person requesting the hearing or state that there are no disputed facts; and (3) otherwise comply with Chapter 28-106, F.A.C. A request for hearing must be filed with and received by the Agency Clerk of the District at the District’s Tampa address, 7601 US Hwy. 301, Tampa, FL 33637-6759 within 21 days of publication of this notice (or within14 days for an Environmental Resource Permit with Proprietary Authorization for the use of Sovereign Submerged Lands). Failure to file a request for hearing within this time period shall constitute a waiver of any right such person may have to request a hearing under Sections 120.569 and 120.57, F.S. Because the administrative hearing process is designed to formulate final agency action, the filing of a petition means that the District’s final action may be different from the position taken by it in this notice of agency action. Persons whose substantial interests will be affected by any such final decision of the District in this matter have the right to petition to become a party to the proceeding, in accordance with the requirements set forth above.

Mediation pursuant to Section 120.573, F.S., to settle an administrative dispute regarding the District’s action in this matter is not available prior to the filing of a request for hearing. June 21, 2024 24-01131P

FIRST INSERTION

Notice Under Fictitious Name Law Pursuant to Section 865.09, Florida Statutes

NOTICE IS HEREBY GIVEN that the undersigned, desiring to engage in business under the fictitious name of Springhill window and door located at 10630 Harris loop, in the County of Pasco, in the City of Hudson, Florida 34667 intends to register the said name with the Division of Corporations of the Florida Department of State, Tallahassee, Florida. Dated at Hudson, Florida, this 12th day of June 2024. SPRING HILL WINDOW INSTALLATIONS INC. June 21, 2024 24-01127P

Notice of Public Hearing and Board of Supervisors Meeting of the Zephyr Ridge Community Development District

The Board of Supervisors (the “Board”) of the Zephyr Ridge Community Development District (the “District”) will hold a public hearing and a meeting on Monday, July 22, 2024, at 5:00 p.m. at Alice Hall Community Center, 38116 Fifth Avenue, Zephyrhills, Florida 33542.

The purpose of the public hearing is to receive public comments on the proposed adoption of the District’s fiscal year 20242025 proposed budget and the proposed levy of its annually recurring non-ad valorem special assessments for operation and maintenance to fund the items described in the proposed budget (the “O&M Assessments”).

At the conclusion of the public hearing, the Board will, by resolution, adopt a final budget, provide for the levy, collection, and enforcement of the O&M Assessments, and certify an assessment roll. A meeting of the Board will also be held where the Board may consider any other business that may properly come before it.

A copy of the proposed budget, preliminary assessment roll, and the agenda may be viewed on the District’s website at least 2 days before the meeting www.zephyrridge.org, or may be obtained by contacting the District Manager’s office via email at jgreenwood@gms-tampa.com or via phone at (813) 344-4844.

The table below presents the proposed schedule of the O&M Assessments. Amounts are preliminary and subject to change at the meeting and in any future year.

Lot Size Unit Count FY 2025 Per Unit Total Assessment

$38,878.14

Apartments 208 $186.91

$1,208.44

SF 50’ Phase 1A 84

SF 55’ Phase 1A 114

SF 65’ Phase 1A 115 $1,425.96

Commercial 70 $149.53 $10,467.19

Total 591 $452,601.91

The O&M Assessments (in addition to debt assessments, if any) will appear on November 2024 Pasco County property tax bill. Amount shown includes all applicable collection costs. Property owner is eligible for a discount of up to 4% if paid early.

The County Tax Collector will collect the assessments for all lots and parcels within the District. Alternatively, the District may elect to directly collect its assessments in accordance with Chapter 190, Florida Statutes. Failure to pay the District’s assessments will cause a tax certificate to be issued against the property which may result in a loss of title or a foreclosure action to be filed against the property. All affected property owners have the right to appear at the public hearing and to file written objections with the District within 20 days of publication of this notice.

The public hearing and meeting are open to the public and will be conducted in accordance with the provisions of Florida law for community development districts. They may be continued to a date, time, and place to be specified on the record at the hearing or meeting. There may be occasions when staff or Board members may participate by speaker telephone.

In accordance with the provisions of the Americans with Disabilities Act, any person requiring special accommodations because of a disability or physical impairment should contact the District Manager’s office at least 2 business days prior to the meeting. If you are hearing or speech impaired, please contact the Florida Relay Service at 711 or 1-800-955-8771 (TTY), or 1-800-955-8770 (voice) for aid in contacting the District Manager’s office.

Each person who decides to appeal any decision made by the Board with respect to any matter considered at the public hearing or meeting is advised that person will need a record of proceedings and that accordingly, the person may need to ensure that a verbatim record of the proceedings is made, including the testimony and evidence upon which such appeal is to be based.

14333 Crabtrap Ct. Hudson Fl. 34667 Travel Coach may be released/ redeemed prior to the Sale. Port Hudson Marina LLC reserves the right to bid June 21, 28, 2024 24-01132P

INSERTION BRIDGEWATER OF WESLEY CHAPEL COMMUNITY DEVELOPMENT DISTRICT NOTICE OF REGULAR MEETING OF THE BOARD OF SUPERVISORS

Notice is hereby given that the Board of Supervisors (“Board”) of the Bridgewater of Wesley Chapel Community Development District (“District”) will hold a regular meeting of its Board on July 2, 2024, at 6:30 p.m. at the Hampton Inn and Suites located at 2740 Cypress Ridge Blvd., Wesley Chapel, FL 33544. At such time the Board is so authorized and may consider any business that may properly come before it. A copy of the agenda may be obtained at the offices of the District Manager, Vesta District Services, 250 International Parkway, Suite 208, Lake Mary, Florida 32746, Ph: (321) 263-0132 (“District Manager’s Office”), during normal business hours. The Bridgewater of Wesley Chapel Community Development District has two (2) seats up for election, specifically seats 1 and 5. Each seat carries a four-year term of office. Elections are nonpartisan and will be held at the same time as the general election on November 5, 2024, and in the manner prescribed by law for general elections. The meeting is open to the public and will be conducted in accordance with the provisions of Florida law. The meeting may be continued to a date, time, and place to be specified on the record at the meeting. There may be occasions when Board Supervisors or District Staff may participate by speaker telephone. Any person requiring special accommodations at the meeting because of a disability or physical impairment should contact the District Manager’s Office at least forty-eight (48) hours prior to the meeting. If you are hearing or speech impaired, please contact the Florida Relay Service by dialing 7-1-1, or 1-800-955-8771 (TTY) / 1-800-9558770 (Voice), for aid in contacting the District Manager’s Office.

Any person who decides to appeal

29 JUNE 21 - JUNE 27, 2024 BusinessObserverFL.com
FIRST
tes-
which such
to be based. June 21, 2024 24-01121P
any decision made by the Board with respect to any matter considered at the meeting is advised that person will need a record of proceedings and that accordingly, the person may need to ensure that a verbatim record of the proceedings is made, including the
timony and evidence upon
appeal is
Single
Single
TOTAL
Platted
Family 50’ 582 $1,523.78
Family 65’ 308 $1,706.63 890
UNITS
June 21, 2024 24-01122P FIRST
SEVEN
INSERTION
OAKS COMMUNITY DEVELOPMENT DISTRICT II REQUEST FOR PROPOSALS
Section 83.805-83.806 1996 32ft Holiday Rambler Trailer Coach Vin # 1KB181L28TW023775 Registered Owner HARRY D & JACQUELINE J CLOUD Tenant MARC D CHRISTY Sale to be held at Port Hudson Marina LLC/Storage Lot
FIRST INSERTION NOTICE OF PUBLIC SALE Notice is hereby given that on 07/15/2024 at 11:00 the following Trailer Coach may be sold at public sale for storage charges pursuant to TL-28
$101,509.00
$1,208.44 $137,762.21
$163,985.37
June 21, 2024 24-01126P JENNY LYNNE CIRCLE JENNY LYNNE CLE GEIG O A

FIRST INSERTION

NOTICE TO CREDITORS IN THE CIRCUIT COURT FOR PASCO COUNTY, FLORIDA

PROBATE DIVISION

FILE NO.: 512024CP000409

IN RE: ESTATE OF CECELIA J. KERIN, Deceased. The administration of the estate of CECELIA J. KERIN, deceased, whose date of death was December 6, 2023, is pending in the Circuit Court for Pasco County, Florida, Probate Division, the address of which is 7530 Little Rd, New Port Richey, FL 34654. The names and addresses of the personal representative and the personal representative’s attorney are set forth below. All creditors of the decedent and other persons having claims or demands against decedent’s estate on whom a copy of this notice is required to be served must file their claims with this court ON OR BEFORE THE LATER OF 3 MONTHS AFTER THE TIME OF THE FIRST PUBLICATION OF THIS NOTICE OR 30 DAYS AFTER THE DATE OF SERVICE OF A COPY OF THIS NOTICE ON THEM.

All other creditors of the decedent and other persons having claims or demands against decedent’s estate must file their claims with this court WITHIN 3 MONTHS AFTER THE DATE OF THE FIRST PUBLICATION OF THIS NOTICE.

ALL CLAIMS NOT FILED WITHIN THE TIME PERIODS SET FORTH IN FLORIDA STATUTES SECTION 733.702 WILL BE FOREVER BARRED.

NOTWITHSTANDING THE TIME PERIODS SET FORTH ABOVE, ANY CLAIM FILED TWO (2) YEARS OR MORE AFTER THE DECEDENT’S DATE OF DEATH IS BARRED.

The date of first publication of this notice is June 21, 2024.

Personal Representative: ANNE MORRISON 3144 Court Street Yorktown Heights, NY 10598

Attorney for Personal Representative: RONALD S. KOCHMAN, ESQ. Florida Bar No. 271888

Kochman & Ziska PLC 222 Lakeview Avenue, Suite 1500

Telephone: (561) 802-8960

E-mail: rkochman@floridawills.com

June 21, 28, 2024 24-01109P

FIRST INSERTION NOTICE TO CREDITORS IN THE CIRCUIT COURT FOR PASCO COUNTY, FLORIDA PROBATE DIVISION File No.: 2024 CP 000959 CPAXWS IN RE: ESTATE OF ROBERT J. SCHLOSKY, Deceased.

The administration of the estate of ROBERT J. SCHLOSKY, deceased, whose date of death was May 5, 2024, is pending in the Circuit Court for Pasco County, Florida, Probate Division, the address of which 38053 Live Oak Avenue, Dade City, FL 33523. The names and addresses of the personal representative and the personal representative’s attorney are set forth below. The names and addresses of the personal representative and the personal representative’s attorney are set forth below.

All creditors of the decedent and other persons having claims or demands against decedent’s Estate on whom a copy of this notice has been served must file their claims with this court WITHIN THE LATER OF 3 MONTHS AFTER THE DATE OF THE FIRST PUBLICATION OF THIS NOTICE OR 30 DAYS AFTER THE TIME OF SERVICE OF A COPY OF THIS NOTICE ON THEM. All other creditors of the decedent and other persons having claims or demands against decedent’s estate MUST FILE THEIR CLAIMS WITH THIS COURT WITHIN 3 MONTHS AFTER THE DATE OF THE FIRST PUBLICATION OF THIS NOTICE. ALL CLAIMS NOT SO FILED WILL BE FOREVER BARRED. NOTWITHSTANDING THE TIME PERIOD SET FORTH ABOVE, ANY CLAIM FILED TWO (2) YEARS OR MORE AFTER THE DECEDENT’S

DATE OF DEATH IS BARRED.

The date of first publication of this notice is the 21 day of June, 2024.

Personal Representative: Mary Cole 1513 Westerham Loop #3 Trinity, FL 34655

Attorney for Personal Representative: Jerome J. Sanchy, Esq. Florida Bar No.: 240397

6981 Curtiss Avenue #3 Sarasota, FL 34231

June 21, 28, 2024 24-01137P

FIRST INSERTION NOTICE TO CREDITORS IN THE CIRCUIT COURT FOR PASCO COUNTY, FLORIDA PROBATE DIVISION File No. 2024-CP-786 IN RE: ESTATE OF MICHAEL A. MAIERS AKA MICHAEL ALBERT MAIERS Deceased. The administration of the estate of MICHAEL A. MAIERS AKA MICHAEL ALBERT MAIERS, deceased, whose date of death was March 25, 2024, is pending in the Circuit Court for PASCO County, Florida, Probate Division, the address of which is P.O. Drawer 338, New Port Richey, FL 34656-0338. The names and addresses of the personal representative and the personal representative’s attorney are set forth below.

All creditors of the decedent and other persons having claims or demands against decedent’s estate on whom a copy of this notice is required to be served must file their claims with this court ON OR BEFORE THE LATER OF 3 MONTHS AFTER THE TIME OF THE FIRST PUBLICATION OF THIS NOTICE OR 30 DAYS AFTER THE DATE OF SERVICE OF A COPY OF THIS NOTICE ON THEM.

All other creditors of the decedent and other persons having claims or demands against decedent’s estate must file their claims with this court WITHIN 3 MONTHS AFTER THE DATE OF THE FIRST PUBLICATION OF THIS NOTICE.

ALL CLAIMS NOT FILED WITHIN THE TIME PERIODS SET FORTH IN FLORIDA STATUTES SECTION 733.702 WILL BE FOREVER BARRED.

NOTWITHSTANDING THE TIME PERIODS SET FORTH ABOVE, ANY CLAIM FILED TWO (2) YEARS OR MORE AFTER THE DECEDENT’S DATE OF DEATH IS BARRED.

The date of first publication of this notice is June 21, 2024.

Personal Representative: PATRICIA J. ELLIOTT 23256 Mystic Forest Dr. Novi, Michigan 48375

Attorney for Personal Representative: /S/ CHRISTINA KANE CHRISTINA KANE

Attorney Florida Bar Number: 97970

LYONS LAW GROUP PA 8362 Forest Oaks Blvd. Spring Hill, FL 34606

Telephone: (352) 515-0101

Fax: (352) 616-0055

E-Mail: ckane@lyonslawgroup.com

Secondary E-Mail: cyndi@lyonslawgroup.com June 21, 28, 2024 24-01115P

FIRST INSERTION NOTICE TO CREDITORS IN THE CIRCUIT COURT FOR PASCO COUNTY, FLORIDA PROBATE DIVISION File Number: 2024CP000560CPAXES IN RE: ESTATE OF Lyudmila Royzen Deceased.

The administration of the estate of Lyudmila Royzen, deceased, whose date of death was March 5, 2024, is pending in the Circuit Court for Pasco County, Florida, Probate Division, the address of which is 38053 Live Oak Avenue, Dade City, Florida 33523. The names and addresses of the personal representative and the personal representative’s attorney are set forth below. All creditors of the decedent and other persons having claims or demands against decedent’s estate on whom a copy of this notice is required to be served must file their claims with this court ON OR BEFORE THE LATER OF 3 MONTHS AFTER THE TIME OF THE FIRST PUBLICATION OF THIS NOTICE OR 30 DAYS AFTER THE DATE OF SERVICE OF A COPY OF THIS NOTICE ON THEM.

All other creditors of the decedent and other persons having claims or demands against decedent’s estate must file their claims with this court WITHIN 3 MONTHS AFTER THE DATE OF THE FIRST PUBLICATION OF THIS NOTICE.

ALL CLAIMS NOT FILED WITHIN THE TIME PERIODS SET FORTH IN FLORIDA STATUTES SECTION 733.702 WILL BE FOREVER BARRED.

NOTWITHSTANDING THE TIME PERIODS SET FORTH ABOVE, ANY CLAIM FILED TWO (2) YEARS OR MORE AFTER THE DECEDENT’S DATE OF DEATH IS BARRED

The date of first publication of this notice is June 21, 2024.

Personal Representative: Irine Royzen-Edwards 22822 Bay Cedar Drive Land O’ Lakes, Florida 34639

Attorney for Personal Representative: Horacio Sosa, Esq. E-mail Addresses: hsosa@sosalegal. com, eservice@sosalegal.com

Florida Bar No. 584029

2924 Davie Rd. Suite 102 Davie , Florida 33314

Telephone: (954) 532-9447

June 21, 28, 2024 24-01110P

FIRST INSERTION

NOTICE TO CREDITORS IN THE CIRCUIT COURT FOR PASCO COUNTY, FLORIDA

PROBATE DIVISION

File No. 24-CP-000800

Division: Probate IN RE: ESTATE OF PETER VERNON HECKER (A/K/A PETER V. HECKER A/K/A PETER HECKER) Deceased.

The administration of the estate of Peter Vernon Hecker (a/k/a Peter V. Hecker a/k/a Peter Hecker), deceased, whose date of death was March 22, 2024, is pending in the Circuit Court for Pasco County, Florida, Probate Division, the address of which is 7530 Little Road, New Port Richey, Florida 34654. The names and addresses of the personal representative and the personal representative’s attorney are set forth below.

All creditors of the decedent and other persons having claims or demands against decedent’s estate on whom a copy of this notice is required to be served must file their claims with this court ON OR BEFORE THE LATER OF 3 MONTHS AFTER THE TIME OF THE FIRST PUBLICATION OF THIS NOTICE OR 30 DAYS AFTER THE DATE OF SERVICE OF A COPY OF THIS NOTICE ON THEM.

All other creditors of the decedent and other persons having claims or demands against decedent’s estate must file their claims with this court WITHIN 3 MONTHS AFTER THE DATE OF THE FIRST PUBLICATION OF THIS NOTICE.

ALL CLAIMS NOT FILED WITHIN THE TIME PERIODS SET FORTH IN FLORIDA STATUTES SECTION 733.702 WILL BE FOREVER BARRED.

NOTWITHSTANDING THE TIME PERIODS SET FORTH ABOVE, ANY CLAIM FILED TWO (2) YEARS OR MORE AFTER THE DECEDENT’S DATE OF DEATH IS BARRED.

The date of first publication of this notice is June 21, 2024.

Personal Representative: Jennifer Epler 120 Colonial Drive, Unit C Shillington, Pennsylvania 19607

Attorney for Personal Representative: Tanya Bell, Esq.

Florida Bar Number: 52924

Bell Law Firm, P.A. 2364 Boy Scout Road, Suite 200 Clearwater, Florida 33763

Telephone: (727) 287-6316

Fax (727) 287-6317

TanyaBell@BellLawFirmFlorida.com AMullins@BellLawFirmFlorida.com June 21, 28, 2024 24-01105P

FIRST INSERTION NOTICE TO CREDITORS IN THE CIRCUIT COURT FOR PASCO COUNTY, FLORIDA PROBATE DIVISION File No. 24-CP-000706 IN RE: ESTATE OF KARL AUSTIN GOODWIN Deceased.

The administration of the estate of Karl Austin Goodwin, deceased, whose date of death was March 5, 2023, is pending in the Circuit Court for Pasco County, Florida, Probate Division, the address of which is 38053 Live Oak Avenue, Dade City, Florida 33523. The names and addresses of the personal representative and the personal representative’s attorney are set forth below.

All creditors of the decedent and other persons having claims or demands against decedent’s estate on whom a copy of this notice is required to be served must file their claims with this court ON OR BEFORE THE LATER OF 3 MONTHS AFTER THE TIME OF THE FIRST PUBLICATION OF THIS NOTICE OR 30 DAYS AFTER THE DATE OF SERVICE OF A COPY OF THIS NOTICE ON THEM.

All other creditors of the decedent and other persons having claims or demands against decedent’s estate must file their claims with this court WITHIN 3 MONTHS AFTER THE DATE OF THE FIRST PUBLICATION OF THIS NOTICE.

ALL CLAIMS NOT FILED WITHIN THE TIME PERIODS SET FORTH IN FLORIDA STATUTES SECTION 733.702 WILL BE FOREVER BARRED.

NOTWITHSTANDING THE TIME PERIODS SET FORTH ABOVE, ANY CLAIM FILED TWO (2) YEARS OR MORE AFTER THE DECEDENT’S DATE OF DEATH IS BARRED.

The date of first publication of this notice is June 21, 2024.

Personal Representative:

Todd Richard Goodwin

922B King St W, Toronto Ontario, Canada M5V-1P5

Attorney for Personal Representative: /s/ Debra L. Dandar

Debra L. Dandar

TAMPA BAY ELDER LAW CENTER

3611 West Azeele Street Tampa, FL 33609

Telephone: (813) 282-3390

Fax: (813) 902-3829

Debra@TBELC.com Amy.Morris@TBELC.com June 21, 28, 2024 24-01112P

FIRST INSERTION NOTICE TO CREDITORS IN THE CIRCUIT COURT FOR PASCO COUNTY, FLORIDA PROBATE DIVISION

File No. 2024-CP-0808-ES Division Probate IN RE: ESTATE OF JOSEPH LEO RUTKOWSKI Deceased.

The administration of the estate of Joseph Leo Rutkowski, deceased, whose date of death was November 25, 2023, is pending in the Circuit Court for Pasco County, Florida, Probate Division, the address of which is 38053 Live Oak Ave, Dade City, Florida 33523. The names and addresses of the personal representative and the personal representative’s attorney are set forth below.

All creditors of the decedent and other persons having claims or demands against decedent’s estate on whom a copy of this notice is required to be served must file their claims with this court ON OR BEFORE THE LATER OF 3 MONTHS AFTER THE TIME OF THE FIRST PUBLICATION OF THIS NOTICE OR 30 DAYS AFTER THE DATE OF SERVICE OF A COPY OF THIS NOTICE ON THEM.

All other creditors of the decedent and other persons having claims or demands against decedent’s estate must file their claims with this court WITHIN 3 MONTHS AFTER THE DATE OF THE FIRST PUBLICATION OF THIS NOTICE.

ALL CLAIMS NOT FILED WITHIN THE TIME PERIODS SET FORTH IN FLORIDA STATUTES SECTION 733.702 WILL BE FOREVER BARRED.

NOTWITHSTANDING THE TIME PERIODS SET FORTH ABOVE, ANY CLAIM FILED TWO (2) YEARS OR MORE AFTER THE DECEDENT’S DATE OF DEATH IS BARRED.

The date of first publication of this notice is June 21, 2024.

Personal Representative: Barbara J. Rutkowski c/o Boyer & Boyer, P.A.

46 N Washington Blvd, Ste 21 Sarasota, FL 34236

Attorney for Personal Representative: Andrew R. Boyer, Esq. Florida Bar Number: 35409 BOYER & BOYER, P.A.

46 N Washington Blvd, Ste 21 Sarasota, FL 34236

Telephone: (941) 365-2304

Fax: (941) 364-9896

Email: aboyer@boyerboyer.com

Secondary Email: service@boyerboyer.com

June 21, 28, 2024 24-01106P

FIRST INSERTION NOTICE TO CREDITORS IN THE CIRCUIT COURT OF THE SIXTH JUDICIAL CIRCUIT IN AND FOR PASCO COUNTY, FLORIDA PROBATE DIVISION FILE NO: 2024-CP-000609 IN RE: ESTATE OF DENIS FRANCIS SCHULTZ, Deceased.

The administration of the Estate of DENIS FRANCIS SCHULTZ, deceased, whose date of death was 2/12/2024, Case Number 2024-CP-000609, is pending in the Circuit Court for Pasco County, Florida, Probate Division, the address of which is 38053 Live Oak Avenue, Dade City, Florida 33525.

The names and addresses of the Personal Representative and the Personal Representative’s attorney are set forth below.

All creditors of the decedent and other persons having claims or demands against decedent’s Estate on whom a copy of this notice has been served must file their claims with this court WITHIN THE LATER OF 3 MONTHS AFTER THE DATE OF THE FIRST PUBLICATION OF THIS NOTICE OR 30 DAYS AFTER THE TIME OF SERVICE OF A COPY OF THIS NOTICE ON THEM.

All other creditors of the decedent and other persons having claims or demands against decedent’s estate MUST FILE THEIR CLAIMS WITH THIS COURT WITHIN 3 MONTHS AFTER THE DATE OF THE FIRST PUBLICATION OF THIS NOTICE. ALL CLAIMS NOT SO FILED WILL BE FOREVER BARRED.

NOTWITHSTANDING THE TIME PERIOD SET FORTH ABOVE, ANY CLAIM FILED TWO (2) YEARS OR MORE AFTER THE DECEDENT’S DATE OF DEATH IS BARRED.

The date of first publication of this notice is the 21 day of June, 2024.

Personal Representative: MICHAEL GRAHAM DAVIS, 4510 Slippery Road, New Port Richey, FL 34653

Attorney for Personal Representative: RACHAEL ALEXANDER, ESQ. Florida Bar Number: 1031888 Counsel for Personal Representative Law Office of Elizabeth Devolder, PLLC. 5383

FIRST INSERTION

NOTICE TO CREDITORS IN THE CIRCUIT COURT FOR PASCO COUNTY, FLORIDA PROBATE DIVISION File No. 24-CP-000506

Division IN RE: ESTATE OF CHESTER BLAINE MARTIN, aka CHESTER MARTIN Deceased.

The administration of the estate of CHESTER BLAINE MARTIN, also known as CHESTER MARTIN, deceased, whose date of death was January 25, 2024, is pending in the Circuit Court for Pasco County, Florida, Probate Division, the address of which is 38053 Live Oak Avenue. Dade City, Fl 33523. The names and addresses of the personal representative and the personal representative’s attorney are set forth below.

All creditors of the decedent and other persons having claims or demands against decedent’s estate, on whom a copy of this notice is required to be served, must file their claims with this court ON OR BEFORE THE LATER OF 3 MONTHS AFTER THE TIME OF THE FIRST PUBLICATION OF THIS NOTICE OR 30 DAYS AFTER THE DATE OF SERVICE OF A COPY OF THIS NOTICE ON THEM.

All other creditors of the decedent and other persons having claims or demands against decedent’s estate must file their claims with this court WITHIN 3 MONTHS AFTER THE DATE OF THE FIRST PUBLICATION OF THIS NOTICE.

ALL CLAIMS NOT FILED WITHIN THE TIME PERIODS SET FORTH IN FLORIDA STATUTES SECTION 733.702 WILL BE FOREVER BARRED.

NOTWITHSTANDING THE TIME PERIOD SET FORTH ABOVE, ANY CLAIM FILED TWO (2) YEARS OR MORE AFTER THE DECEDENT’S DATE OF DEATH IS BARRED.

The date of first publication of this notice is June 21, 2024.

SUSAN MARTIN

Personal Representative 40723 Jerry Road Zephyrhills, FL 33540

Robert D. Hines, Esq. Attorney for Personal Representative Florida Bar No. 0413550

Hines Norman Hines, P.L. 1312 W. Fletcher Avenue, Suite B Tampa, FL 33612

Telephone: 813-265-0100

Email: rhines@hnh-law.com

Secondary Email: jrivera@hnh-law.com June 21, 28, 2024 24-01107P

FIRST INSERTION NOTICE TO CREDITORS IN THE CIRCUIT COURT FOR PASCO COUNTY, FLORIDA PROBATE DIVISION File No. 2024CP000672CPAXWS IN RE: ESTATE OF PETER J. WALLACE Deceased.

The administration of the estate of Peter J. Wallace, deceased, whose date of death was January 30, 2024, is pending in the Circuit Court for Pasco County, Florida, Probate Division, the address of which is 38053 Live Oak Avenue, Dade City, FL 33523. The names and addresses of the personal representatives and the personal representatives’ attorney are set forth below.

All creditors of the decedent and other persons having claims or demands against decedent’s estate on whom a copy of this notice is required to be served must file their claims with this court ON OR BEFORE THE LATER OF 3 MONTHS AFTER THE TIME OF THE FIRST PUBLICATION OF THIS NOTICE OR 30 DAYS AFTER THE DATE OF SERVICE OF A COPY OF THIS NOTICE ON THEM.

All other creditors of the decedent and other persons having claims or demands against decedent’s estate must file their claims with this court WITHIN 3 MONTHS AFTER THE DATE OF THE FIRST PUBLICATION OF THIS NOTICE.

ALL CLAIMS NOT FILED WITHIN THE TIME PERIODS SET FORTH IN FLORIDA STATUTES SECTION 733.702 WILL BE FOREVER BARRED.

NOTWITHSTANDING THE TIME PERIODS SET FORTH ABOVE, ANY CLAIM FILED TWO (2) YEARS OR MORE AFTER THE DECEDENT’S DATE OF DEATH IS BARRED.

The date of first publication of this notice is June 21, 2024. Joni Glynn-Wallace 4425 NW 32nd Lane Cape Coral, Florida 33993 Cheryl O’Donnell 3 Padden Road Franklin, Massachusetts 02038

/s/ Amanda 0. Singleton Amanda 0. Singleton Attorney Florida Bar Number: 0015957 425 22nd Avenue N. Suite D SAINT PETERSBURG, FL 33704 Telephone: (727) 755-4316 Fax: (727) 755-4316 E-Mail: amanda@singletonlegal.com June 21, 28, 2024 24-01111P

FIRST INSERTION NOTICE TO CREDITORS IN THE CIRCUIT COURT FOR PASCO COUNTY, FLORIDA

PROBATE DIVISION File No. 51-2024-CP-0699-WS IN RE: ESTATE OF JAMES K. SHAHEEN Deceased. The administration of the estate of JAMES K. SHAHEEN, deceased, whose date of death was November 9, 2023, is pending in the Circuit Court for PASCO County, Florida, Probate Division, the address of which is 7530 Little Rd., New Port Richey, FL 34654. The name and address of the personal representative and the personal representatives’ attorney are set forth below. All creditors of the decedent and other persons having claims or demands against decedent’s estate on whom a copy of this notice is required to be served must file their claims with this court ON OR BEFORE THE LATER OF 3 MONTHS AFTER THE TIME OF THE FIRST PUBLICATION OF THIS NOTICE OR 30 DAYS AFTER THE DATE OF SERVICE OF A COPY OF THIS NOTICE ON THEM. All other creditors of the decedent and other persons having claims or demands against decedent’s estate must file their claims with this court WITHIN 3 MONTHS AFTER THE DATE OF THE FIRST PUBLICATION OF THIS NOTICE. ALL CLAIMS NOT FILED WITHIN THE TIME PERIODS SET FORTH IN FLORIDA STATUTES SECTION 733.702 WILL BE FOREVER BARRED.

NOTWITHSTANDING THE TIME PERIODS SET FORTH ABOVE, ANY CLAIM FILED TWO (2) YEARS OR MORE AFTER THE DECEDENT’S DATE OF DEATH IS BARRED. The date of first publication of this notice is June 21, 2024.

Personal Representative:

(727) 848-5997 Fax: (727) 848-4072 E-Mail: peytonlaw@yahoo.com Secondary E-Mail: peytonlaw2@gmail.com June 21, 28, 2024 24-01108P

FIRST INSERTION NOTICE TO CREDITORS IN THE CIRCUIT COURT FOR PASCO COUNTY, FLORIDA PROBATE DIVISION File No. 24-CP-000827

Division: Probate IN RE: ESTATE OF VIRGINIA MARIE ATKINSON (A/K/A VIRGINIA M. ATKINSON A/K/A VIRGINIA ATKINSON) Deceased. The administration of the estate of Virginia Marie Atkinson (a/k/a Virginia M. Atkinson a/k/a Virginia Atkinson), deceased, whose date of death was March 28, 2024, is pending in the Circuit Court for Pasco County, Florida, Probate Division, the address of which is 7530 Little Road, New Port Richey, Florida 34654. The names and addresses of the personal representative and the personal representative’s attorney are set forth below. All creditors of the decedent and other persons having claims or demands against decedent’s estate on whom a copy of this notice is required to be served must file their claims with this court ON OR BEFORE THE LATER OF 3 MONTHS AFTER THE TIME OF THE FIRST PUBLICATION OF THIS NOTICE OR 30 DAYS AFTER THE DATE OF SERVICE OF A COPY OF THIS NOTICE ON THEM. All other creditors of the decedent and other persons having claims or demands against decedent’s estate must file their claims with this court WITHIN 3 MONTHS AFTER THE DATE OF THE FIRST PUBLICATION OF THIS NOTICE. ALL CLAIMS NOT FILED WITHIN THE TIME PERIODS SET FORTH IN FLORIDA STATUTES SECTION 733.702 WILL BE FOREVER BARRED. NOTWITHSTANDING THE TIME PERIODS SET FORTH ABOVE, ANY CLAIM FILED TWO (2) YEARS OR MORE AFTER THE DECEDENT’S DATE OF DEATH IS BARRED. The date of first publication of this notice is June 21,

30 JUNE 21 - JUNE 27, 2024 BUSINESS OBSERVER PASCO COUNTY --- ESTATE ---
New Port
Personal Representative: DONALD R. PEYTON Attorney Florida Bar Number:
7317
Road New Port
KAREN S. HAMBY 7801 Montrose Dr.
Richey, Florida 34653 Attorney for
516619
Little
Richey, FL 34654 Telephone:
2024. Personal Representative: Jennifer Kaliff 8421 SW 41st Street Davie, Florida 33328 Attorney for Personal Representative: Tanya Bell, Esq. Florida Bar Number: 52924 Bell Law Firm, P.A. 2364 Boy Scout Road, Suite 200 Clearwater, Florida 33763 Telephone: (727) 287-6316 Fax (727) 287-6317 TanyaBell@BellLawFirmFlorida.com AMullins@BellLawFirmFlorida.com June 21, 28, 2024 24-01113P
Primrose Lake Circle, Suite C Tampa, FL 33647 (813) 319-4550 (Tel) (813) 319-4550 (fax) rachael@elizabethdevolder.com casemanager@elizabethdevolder.com June 21, 28, 2024 24-01135P
LV10175 legal@businessobserverfl.com E-mail your Legal Notice SAVE TIME

NOTICE OF FORECLOSURE SALE IN THE CIRCUIT COURT OF THE 6TH JUDICIAL CIRCUIT, IN AND FOR PASCO COUNTY, FLORIDA. CASE No. 2018-CA-001628-CAAX-WS REVERSE MORTGAGE FUNDING LLC, Plaintiff, vs. CHLOE ALEXANDER AKA CHLOE ANN ALEXANDER, et. al., Defendants. NOTICE IS HEREBY GIVEN pursuant to an Order or Final Judgment entered in Case No. 2018-CA-001628-CAAXWS of the Circuit Court of the 6TH Judicial Circuit in and for PASCO County, Florida, wherein, REVERSE MORTGAGE FUNDING LLC, Plaintiff, and, ALEXANDER, CHLOE, et. al., are Defendants, I will sell to the high-

NOTICE TO CREDITORS

IN THE CIRCUIT COURT FOR PASCO COUNTY, FLORIDA PROBATE DIVISION

File No. 24-CP-000954 IN RE: ESTATE OF KAREN KAY GOOD, Deceased.

The administration of the estate of KAREN KAY GOOD, deceased, whose date of death was February 5, 2023, is pending in the Circuit Court for Pasco County, Florida, Probate Division, the address of which is PO Box 338, New Port Richey, FL 34656-0338. The names and addresses of the personal representative and the personal representative’s attorney are set forth below.

All creditors of the decedent and other persons having claims or demands against decedent’s estate, on whom a copy of this notice is required to be served, must file their claims with this court ON OR BEFORE THE LATER OF 3 MONTHS AFTER THE TIME OF THE FIRST PUBLICATION OF THIS NOTICE OR 30 DAYS AFTER THE DATE OF SERVICE OF A COPY OF THIS NOTICE ON THEM.

All other creditors of the decedent and other persons having claims or demands against decedent’s estate must

NOTICE OF FORECLOSURE SALE IN THE CIRCUIT COURT OF THE SIXTH JUDICIAL CIRCUIT OF FLORIDA IN AND FOR PASCO COUNTY GENERAL JURISDICTION DIVISION CASE NO. 2023CA000616CAAXWS

est bidder for cash at, WWW.PASCO. REALFORECLOSE.COM, at the hour of 11:00 A.M., on the 22nd day of July, 2024, the following described property: LOT 614 AND A PORTION OF VACATED RAILROD RIGHTOF-WAY CONVEYED IN QUIT CLAIM DEED, RECORDED IN OR BOOK 1800, PAGE 988, COLONIAL HILLS UNIT NINE, ACCORDING TO THE PLAT THEREOF, RECORDED IN PLAT BOOK 10, PAGE 52, OF THE PUBLIC RECORDS OF PASCO COUNTY, FLORIDA. Any person claiming an interest in the surplus from the sale, if any, must file a claim per the requirements set forth in FL Stat. 45.032. IMPORTANT

If you are a person with a dis-

file their claims with this court WITHIN 3 MONTHS AFTER THE DATE OF THE FIRST PUBLICATION OF THIS NOTICE.

ALL CLAIMS NOT FILED WITHIN THE TIME PERIODS SET FORTH IN FLORIDA STATUTES SECTION 733.702 WILL BE FOREVER BARRED. NOTWITHSTANDING THE TIME PERIOD SET FORTH ABOVE, ANY CLAIM FILED TWO (2) YEARS OR MORE AFTER THE DECEDENT’S DATE OF DEATH IS BARRED. The date of first publication of this notice is June 21, 2024.

ROBERT D. HINES

Personal Representative 1312 W. Fletcher Avenue, Ste. B Tampa, Florida 33612

Robert D. Hines, Esq.

Attorney for Personal Representative Florida Bar No. 0413550 Hines Norman Hines, P.L. 1312 W. Fletcher Avenue, Suite B Tampa, FL 33612

Telephone: 813-265-0100 Email: rhines@hnh-law.com

Secondary Email: bhales@hnh-law.com June 21, 28, 2024 24-01114P

ability who needs an accommodation in order to participate in this proceeding, you are entitled, at no cost to you, to the provision of certain assistance. Please contact: Public Information Dept., Pasco County Government Center, 7530 Little Rd., New Port Richey, FL 34654; Phone: 727.847.8110 (voice) in New Port Richey, 352.521.4274, ext 8110 (voice) in Dade City, Or 711 for the hearing impaired. Contact should be initiated at least seven days before the scheduled court appearance, or immediately upon receiving this notification if the time before the scheduled appearance is less than seven days. The court does not provide transportation and cannot accommodate such requests. Persons with disabilities needing transportation

NOTICE OF SALE

to court should contact their local public transportation providers for information regarding transportation services.

DATED this 14 day of June, 2024.

GREENSPOON MARDER LLP TRADE CENTRE SOUTH, SUITE 700 100 WEST CYPRESS CREEK ROAD FORT LAUDERDALE, FL 33309

TELEPHONE: (954) 343 6273

Hearing Line: (888) 491-1120

Facsimile: (954) 343 6982

Email 1:

Karissa.Chin-Duncan@gmlaw.com

Email 2: gmforeclosure@gmlaw.com

By: _/s/Michele R. Clancy

Michele Clancy, Esq.

Florida Bar No. 498661

58341.0115 / NBray June 21, 28, 2024 24-01120P

By: /s/ Robyn Katz Robyn Katz, Esq. McCalla Raymer Leibert Pierce, LLC

Attorney for Plaintiff 225 East Robinson Street, Suite 155 Orlando, FL 32801

Phone: (407) 674-1850

Fax: (321) 248-0420

Email: MRService@mccalla.com Fla. Bar No.: 146803 23-07808FL June 21, 28, 2024 24-01134P

U.S. BANK NATIONAL ASSOCIATION, AS INDENTURE TRUSTEE ON BEHALF OF THE HOLDERS OF THE TERWIN MORTGAGE TRUST 2006-1, ASSET-BACKED SECURITIES, TMTS SERIES 2006-1, Plaintiff, vs. KEITH E WILSON, et al., Defendant. NOTICE IS HEREBY GIVEN pursuant to a Summary Final Judgment of Foreclosure entered May 29, 2024 in Civil Case No. 2023CA000616CAAXWS of the Circuit Court of the SIXTH JUDICIAL CIRCUIT in and for Pasco County, Dade City, Florida, wherein U.S. BANK NATIONAL ASSOCIATION, AS INDENTURE TRUSTEE ON BEHALF OF THE HOLDERS OF THE TERWIN MORTGAGE TRUST 20061, ASSET-BACKED SECURITIES, TMTS SERIES 2006-1 is Plaintiff and Keith E Wilson, et al., are Defendants, the Clerk of Court, NIKKI ALVAREZSOWLES, ESQ., will sell to the highest and best bidder for cash electronically at www.pasco.realforeclose.com in accordance with Chapter 45, Florida Statutes on the 15th day of July, 2024 at 11:00 AM on the following described property as set forth in said Summary Final Judgment, to-wit: Lot 2031 and the following described portion of Lot 2032, BEACON WOODS VILLAGE 11-C as shown on the Plat recorded in Plat Book 15, Pages 42, 43 and 44 of the Public Records of Pasco County, Florida. Commence at the most Northerly corner of Lot 2031 of said Beacon Woods Village 11-C for a Point of Beginning; thence run along the boundary line between Lots 2031 and 2032 of said Beacon Woods Village 11-C, South 10 °30`00” East, a distance of 111.50 feet to the most Easterly corner of said Lot 2032; thence North 12 °02`28” West, a distance of 115.96 feet to the Southerly right-of-way line of Avondale Late as shown on the Plat of said Beacon Woods Village 11-C; thence along the Southerly right-of-way line of said Avondale Lane, a distance of 5.42 feet along the arc of a curve to the right of the Point of Beginning, said curve having a radius of 25.00 feet and a chord of 5.41.feet which bears. South 45 °41`10” East. LESS AND EXCEPT the following described portion of said Lot 2031: Commence at the most Westerly corner of Lot 2030 of said Beacon Woods Village 11-C for a Point of Beginning; thence run along the boundary line between Lots 2030 and 2031 of said Beacon Woods Village 11-C, South 31`00`00” East, a distance of 94.89 feet to the. most Easterly corner of said Lot 2031; thence North 34 °28`03” West, a distance of 95.40 feet to the Southerly right-of-way line of Avondale Lane as shown on the Plat of said Beacon Woods Village 11-C; thence along the Southerly rightof-way line of said Avondale Lane a distance of 5.78 feet along the arc of a curve to the left to the Point of Beginning, said curve having a radius of 50.00 feet and a chord of 5.78 feet which bears North 62`18`48” East. Any person claiming an interest in the surplus from the sale, if any, other than the property owner as of the date of the lis pendens, must file a claim before the clerk reports the surplus as unclaimed. If you are a person with a disability who needs any accommodation in order to participate in this proceeding, you are entitled, at no cost to you to the provision of certain assistance. Within two (2) working days of your receipt of this (describe notice/order) please contact the Public Information Dept., Pasco County Government Center, 7530 Little Rd., New Port Richey, FL 34654; (727) 847¬8110 (V) in New Port Richey; (352) 521-4274, ext. 8110 (V) in Dade City; via 1-800-955-8771 if you are hearing impaired. The court does not provide transportation and cannot accommodate for this service. Persons with disabilities needing transportation to court should contact their local public transportation providers for information regarding disabled transportation services.

PURSUANT TO CHAPTER 45 IN THE CIRCUIT COURT OF THE SIXTH JUDICIAL CIRCUIT IN AND FOR PASCO COUNTY, FLORIDA. CIVIL DIVISION CASE NO. 2024CA000380CAAXES NEWREZ LLC D/B/A SHELLPOINT MORTGAGE SERVICING, Plaintiff, vs. STACI VARNUM; UNKNOWN TENANT NO. 1; UNKNOWN TENANT NO. 2; and ALL UNKNOWN PARTIES CLAIMING INTERESTS BY, THROUGH, UNDER OR AGAINST A NAMED DEFENDANT TO THIS ACTION, OR HAVING OR CLAIMING TO HAVE ANY RIGHT, TITLE OR INTEREST IN THE PROPERTY HEREIN DESCRIBED, Defendant(s). NOTICE IS HEREBY GIVEN pursuant to an Order or Summary Final Judgment of foreclosure dated June 13, 2024, and entered in Case No. 2024CA000380CAAXES of the Circuit Court in and for Pasco County, Florida, wherein NEWREZ LLC D/B/A SHELLPOINT MORTGAGE SERVICING is Plaintiff and STACI VARNUM; UNKNOWN TENANT NO. 1; UNKNOWN TENANT NO. 2; and ALL UNKNOWN PARTIES CLAIMING INTERESTS BY, THROUGH, UNDER OR AGAINST A NAMED DEFENDANT TO THIS ACTION, OR HAVING OR CLAIMING TO HAVE ANY RIGHT, TITLE OR INTEREST IN THE PROPERTY HEREIN DESCRIBED, are Defendants, NIKKI ALVAREZ-SOWLES, ESQ., Clerk of the Circuit Court, will sell to the highest and best bidder for cash www.pasco.realforeclose.com, 11:00 a.m., on September 10, 2024 , the following described property as set forth in said Order or Final Judgment, to-wit: LOT 185, WILLIAMS DOUBLE BRANCH ESTATES, A SUBDIVISION ACCORDING TO THE PLAT THEREOF RECORDED

AT PLAT BOOK 12, PAGE 106 THROUGH 112, IN THE PUBLIC RECORDS OF PASCO COUNTY, FLORIDA. TOGETHER WITH THAT CERTAIN 2005 MANUFACTURED HOME, I.D. NO(S). FLHML3F173728585A/B, TITLE NO(S). 95148506 AND 95148392, RP DECAL NO(S). 12419546 AND 12419548. ANY PERSON CLAIMING AN INTEREST IN THE SURPLUS FROM THE SALE, IF ANY, OTHER THAN THE PROPERTY OWNER AS OF THE DATE OF THE LIS PENDENS MUST FILE A CLAIM BEFORE THE CLERK REPORTS THE SURPLUS AS UNCLAIMED. THE COURT, IN ITS DESCRETION, MAY ENLARGE THE TIME OF THE SALE. NOTICE OF THE CHANGED TIME OF SALE SHALL BE PUBLISHED AS PROVIDED HEREIN.

In accordance with the Americans with Disabilities Act of 1990, persons needing special accommodation to participate in this proceeding should contact the Clerk of the Court not later than five business days prior to the proceeding at the Pasco County Courthouse. Telephone 352-521-4545 (Dade City) 352-847-2411 (New Port Richey) or 1-800-955-8770 via Florida Relay Service.

Pursuant to Florida Statute 45.031(2), this notice shall be published twice, once a week for two consecutive weeks, with the last publication being at least 5 days prior to the sale.

DATED 6/18/2024.

Diaz Anselmo & Associates, P.A. Attorneys for Plaintiff 499 NW 70th Ave., Suite 309 Fort Lauderdale, FL 33317

Telephone: (954) 564-0071

Facsimile: (954) 564-9252 Service E-mail: answers@dallegal.com By: /s/ Sheena M. Diaz

Sheena M. Diaz

Florida Bar No.: 97907

Roy Diaz, Attorney of Record Florida Bar No. 767700 1496-198755 / SR4 June 21, 28, 2024 24-01118P

NOTICE OF ACTION IN THE CIRCUIT COURT OF THE SIXTH JUDICIAL CIRCUIT IN AND FOR PASCO COUNTY, FLORIDA CASE NO. 2024CA001025CAAXWS GREENSPRING CAPITAL MANAGEMENT LLC, NOT IN ITS INDIVIDUAL CAPACITY, BUT SOLELY AS ADMINISTRATOR OF THE RMH 2023-2 TRUST Plaintiff, v. THE UNKNOWN HEIRS, GRANTEES, DEVISEES, LIENORS, TRUSTEES, AND CREDITORS OF FRANCES M WEBER A/K/A FRANCES WEBER, DECEASED, ET AL. Defendants. TO: THE UNKNOWN HEIRS, GRANTEES, DEVISEES, LIENORS, TRUSTEES, AND CREDITORS OF FRANCES M WEBER A/K/A FRANCES WEBER. DECEASED, Current residence unknown, but whose last known address was: Current Residence Unknown, hut whose last known address was: 8635 BRAXTON DR, HUDSON, FL 34667-6990 AND FRANCES WEBER, Current residence unknown. but whose last known address was: 8635 BRAXTON DR, HUDSON, FL 34667-6990

YOU ARE NOTIFIED that an action to foreclose a mortgage on the following property in Pasco County, Florida, to-wit: LOT 861, BERKLEY VILLAGE, UNIT 2, ACCORDING TO THE MAP OR PLAT THEREOF AS RECORDED IN PLAT BOOK 24, PAGE 30-32, PUBLIC RECORDS OF PASCO COUNTY, FLORIDA. has been filed against you and you are required to serve a copy of your

NOTICE OF ACTION FOR TERMINATION OF PARENTAL RIGHTS AND RELATIVE ADOPTION IN THE CIRCUIT COURT OF THE SIXTH JUDICIAL CIRCUIT IN AND FOR PASCO COUNTY, FLORIDA FAMILY LAW DIVISION CASE NO.: 51-2022-DR-004168-WS DIVISION: Z1 IN THE MATTER OF THE TERMINATION OF PARENTAL RIGHTS FOR THE PROPOSED ADOPTION OF A MINOR CHILD K C S DOB: 2009 Minor Child. TO: RAMSEY THOMAS SKILLEN

Address Unknown Physical Description: Age: 44 years old - Date of Birth: 10/12/1979 Race: Caucasian Hair Color: Brown Eye Color: One Blue Eye & One Brown Eye Approximate Height: 5’9” Approximate Weight: 190 lbs. YOU ARE NOTIFIED that a PETITION FOR TERMINATION OF PARENTAL RIGHTS AND ADOPTION by has been filed against you by JUDITH CELESTE VOGT, regarding the following minor child: a female born on __, 2009, in Spring Hill, Florida and that you are required to serve a copy of your written defenses, if any, to it on Judith Celeste Vogt c/o Audrey A. Jef-

written defenses, if any, to it on eXL Legal, PLLC, Plaintiff’s attorney, whose address is 12425 28th Street North, Suite 200, St. Petersburg, FL 33716, on or before July 22nd, 2024 or within thirty (30) days after the first publication of this Notice of Action, and file the original with the Clerk of this Court at 38053 Live Oak Avenue, Dade City, FL 33523-3894, either before service on Plaintiff’s attorney or immediately thereafter; otherwise, a default will be entered against you for the relief demanded in the complaint petition. If you are a person with a disability who needs any accommodation in order to participate in this proceeding, you are entitled, at no cost to you, to the provision of certain assistance. Please contact: Public Information Dept., Pasco County Government Center, 7530 Little Rd., New Port Richey, FL 34654, 727.847.8110 (voice) in New Port Richey; 352.521.4274, ext 8110 (voice) in Dade City Or 711 for the hearing impaired. Contact should be initiated at least seven days before the scheduled court appearance, or immediately upon recieving this notification if the time before the scheduled appearance is less than seven days. WITNESS my hand and seal of the Court on this 14th day of June, 2024. Nikki Alvarez-Sowles, Esq. - AES Clerk of the Circuit Court (SEAL) By: /s/ Haley Joyner Deputy Clerk eXL Legal, PLLC, Plaintiff’s attorney 12425 28th Street North, Suite 200, St. Petersburg, FL 33716 1000009750 June 21, 28, 2024 24-01119P

feris, B.C.S .. counsel for Judith Celeste Vogt 8138 Massachusetts Avenue. New Port Richey, Florida 34653. eservice 1@audreyjefferis.com, on or before July 15, 2024, and file the original with the clerk of this Court at 7530 Little Road, New Port Richey, Florida 34654, before service on Petitioner or immediately thereafter. If you fail to do so, a default may be entered against you for the relief demanded in the petition. The minor child is identified as follows: Sex Female Date of Birth 2009 Place of Birth Spring Hill, FL Copies of all court documents in this case, including orders, are available at the Clerk of the Circuit Court’s office. You may review these documents upon request. You must keep the Clerk of the Circuit Court’s office notified of your current address. (You may file Designation of Current Mailing and E-Mail Address, Florida Supreme Court Approved Family Law Form 12.915.) Future papers in this lawsuit will be mailed or e-mailed to the

NOTICE OF SALE IN THE COUNTY COURT OF THE SIXTH JUDICIAL CIRCUIT OF FLORIDA IN AND FOR PASCO COUNTY, FLORIDA CASE NO: 24-CC-291 THE CASTLE COUNCIL, INC., d/b/a SEA CASTLE, A CONDOMINIUM, a Florida not-for-profit corporation, Plaintiff, vs. PHILOMENA DOONAN and ANY UNKNOWN OCCUPANTS IN POSSESSION, Defendants.

NOTICE IS HEREBY GIVEN that, pursuant to the Summary Final Judgment in this cause, in the County Court of Pasco County, Florida, I will sell all the property situated in Pasco County, Florida described as: Unit 514, SEA CASTLE CONDOMINIUM, according to the plat thereof recorded in Condominium Plat Book 14, Pages 44-45, inclusive, and being further described in that certain Declaration of Condominium recorded in Official Records Book 828, Page 1610, et seq., of the Public Records of Pasco County, Florida, together with an undivided interest or share in the common elements appurtenant thereto, and any amendments thereto. With the following street address: 4939 Floramar Terrace, #514, New Port Richey, Florida, 34652. at public sale, to the highest and best bidder, for cash, at www.pasco. realforeclose.com, at 11:00 A.M. on July 25, 2024.

Any person claiming an interest in the surplus from the sale, if any, must file a claim with the Clerk no later than the date that the Clerk reports the funds as unclaimed.

If you are a person with a disability who needs any accommodation in order to participate in this proceeding, you are entitled, at no cost to you, to the provision of certain assistance. Please contact the Public Information Dept., Pasco County Government Center, 7530 Little Rd., New Port Richey, FL 34654; (727) 8478110 (V) in New Port Richey; (352) 521-4274, ext 8110 (V) in Dade City, at least 7 days before your scheduled court appearance, or immediately upon receiving this notification if the time before the scheduled appearance is less than 7 days; if you are hearing impaired call 711. The court does not provide transportation and cannot accommodate for this service. Persons with disabilities needing transportation to court should contact their local public transportation providers for information regarding transportation services.

Dated this 18th day of June, 2024. NIKKI ALVAREZ- SOLWES, ESQ. CLERK AND COMPTROLLER

s/ Stephan C. Nikoloff Stephan C. Nikoloff (Steve@associationlawfl.com) Bar Number 56592

Attorney for Plaintiff 1964 Bayshore Boulevard, Suite A Dunedin, Florida 34698 Telephone: (727) 738-1100 June 21, 28, 2024 24-01133P

NOTICE OF FORECLOSURE SALE IN THE CIRCUIT COURT OF THE SIXTH JUDICIAL CIRCUIT OF FLORIDA IN AND FOR PASCO COUNTY GENERAL JURISDICTION DIVISION CASE NO. 2023CA004766CAAXES UNIVERSITY BANK, Plaintiff, vs. BRYAN PICKETT A/K/A BRYAN M. PICKETT, et al., Defendant.

NOTICE IS HEREBY GIVEN pursuant to a Summary Final Judgment of Foreclosure entered April 11, 2024 in Civil Case No. 2023CA004766CAAXES of the Circuit Court of the SIXTH JUDICIAL CIRCUIT in and for Pasco County, Dade City, Florida, wherein UNIVERSITY BANK is Plaintiff and Bryan Pickett a/k/a Bryan M. Pickett, et al., are Defendants, the Clerk of Court, NIKKI ALVAREZ-SOWLES, ESQ., will sell to the highest and best bidder for cash electronically at www.pasco. realforeclose.com in accordance with Chapter 45, Florida Statutes on the 10th day of July, 2024 at 11:00 AM on the following described property as set forth in said Summary Final Judgment, to-wit: Lot 20, Block 51 of WATERGRASS PARCEL E-1, according to the Plat thereof as recorded in Plat Book 80, Page(s) 12, of the Public Records of Pasco County, Florida.

Any person claiming an interest in the surplus from the sale, if any, other than the property owner as of the date of the lis pendens, must file a claim before the clerk reports the surplus as unclaimed. If you are a person with a disability who needs any accommodation in order to participate in this proceeding,

31 JUNE 21 - JUNE 27, 2024 BusinessObserverFL.com
COUNTY
PASCO
you are entitled, at no cost to you to the provision of certain assistance. Within two (2) working days of your receipt of this (describe notice/order) please contact the Public Information Dept., Pasco County Government Center, 7530 Little Rd., New Port Richey, FL 34654; (727) 847¬8110 (V) in New Port Richey; (352) 521-4274, ext. 8110 (V) in Dade City; via 1-800-955-8771 if you are hearing impaired. The court does not provide transportation and cannot accommodate for this service. Persons with disabilities needing transportation to court should contact their local public transportation providers for information regarding disabled transportation services. By: /s/Robyn Katz Robyn Katz, Esq. McCalla Raymer Leibert Pierce, LLC Attorney for Plaintiff 225 East Robinson Street, Suite 155 Orlando, FL 32801 Phone: (407) 674-1850 Fax: (321) 248-0420 Email: MRService@mccalla.com Fla. Bar No.: 146803 23-08262FL June 21, 28 2024 24-01104P
addresses on record at the clerk’s office.
June 11, 2024
OF THE CIRCUIT COURT
/s/ Nikki Alvarez-Sowles
County Clerk & Comptroller Deputy Clerk: Beverly Bray June 21, 28; July 5, 12, 2024 24-01116P --- ACTIONS / SALES ---
Dated:
CLERK
By:
Pasco
FIRST INSERTION FIRST INSERTION FIRST INSERTION FIRST INSERTION FIRST INSERTION FIRST INSERTION FIRST INSERTION FIRST INSERTION

Why Public Notice Should Remain in Newspapers

Along with open meeting and freedom of information laws, public notice is an essential element of the three-legged stool of government transparency

This is not about “newspapers vs the internet”. It’s newspapers and newspaper websites vs government websites and newspaper websites have a much larger audience. Moving notice from newspapers to government websites would reduce the presence of public notices on the internet

Since the first U.S. Congress, public officials have understood that newspapers are the best medium to notify the public about official matters because they contain the essential elements of public notice:

Accessibility

Independence

Verifiability

Archivability vs

Requiring independent, third-party newspapers to ensure that public notices run in accordance with the law helps prevent government officials from hiding information they would prefer the public not to see

Types Of Public Notices

Citizen Participation Notices

Government Meetings and Hearings

Meeting Minutes or Summaries

Agency Proposals

Proposed Budgets and Tax Rates

Land and Water Use

Creation of Special Tax Districts

School District Reports

Zoning, Annexation and Land Use Changes

Publishing notices on the internet is neither cheap nor free

Newspapers remain the primary vehicle for public notice in all 50 states

Commercial NoticesCourt Notices

Unclaimed Property, Banks or Governments

Delinquent Tax Lists, Tax Deed Sales

Government Property Sales

Permit and License Applications

Mortgage Foreclosures

Name Changes

Probate Rulings

Divorces and Adoptions

Orders to Appear in Court

Stay Informed, It’s Your Right to Know.

For legal notice listings go to: Legals.BusinessObserverFL.com

To publish your legal notice call: 941-906-9386 or Legal@BusinessObserverFL.com

32 JUNE 21 - JUNE 27, 2024 BUSINESS OBSERVER PASCO COUNTY
Open
XNLV18187
Meetings Public Notice FOIA

Newsprint is inherently superior to the internet for public notice because reading a newspaper is a serendipitous process.

We find things in newspapers we weren’t expecting to see. On the internet, we search for specific information and ignore everything else.

Citizens continue to learn about vital civic matters from newspaper notices.

Documented examples of people taking action and alerting their community after reading a newspaper notice are reported on a regular basis.

Verifying publication is difficult-to-impossible on the web.

That’s why the courts subject digital evidence to far greater scrutiny than evidence published in newspapers

Types Of Public Notices

Citizen Participation Notices

Government Meetings and Hearings

Meeting Minutes or Summaries

Agency Proposals

Proposed Budgets and Tax Rates

Land and Water Use

Creation of Special Tax Districts

School District Reports

Zoning, Annexation and Land Use Changes

Significant numbers of people in rural areas still lack highspeed internet access.

Those who are older than 65 or who have lower incomes or lack high-school diplomas are also cut off from the internet in far higher numbers than the average.

Moreover, the real digital divide for public notice is growing due to the massive migration to smartphones and other small-screen digital devices

Governments aren’t very good at publishing information on the internet.

Unlike newspaper publishers, public officials aren’t compelled by the free market to operate effective websites. Grade

Commercial NoticesCourt Notices

Unclaimed Property, Banks or Governments

Delinquent Tax Lists, Tax Deed Sales

Government Property Sales

Permit and License Applications

Mortgage Foreclosures

Name Changes

Probate Rulings

Divorces and Adoptions

Orders to Appear in Court

Stay Informed, It’s Your Right to Know. For legal notice listings go to: Legals.BusinessObserverFL.com

To publish your legal notice call: 941-906-9386 or Legal@BusinessObserverFL.com

33 JUNE 21 - JUNE 27, 2024 BusinessObserverFL.com PASCO COUNTY
XNLV18187

ESSENTIAL ELEMENTS OF A PUBLIC NOTICE

Federal and state public notice statutes generally establish four fundamental criteria for a public notice.

Each of these elements are critical aspects of the checks and balances that public notice was designed to foster.

Every citizen in the jurisdiction affected by the notice must have a realistic opportunity to read it

Notices must be capable of being archived in a secure and publicly available format for the use of the judicial system, researchers and historians

Notices must be published by organizations independent of the government body or corporation whose plans or actions are the subject of the notice

There must be a way to verify that each notice was an original, unaltered notice and actually published in accordance with the law

Types Of Public Notices

Probate Rulings

Divorces and Adoptions

Orders to Appear in Court

34 JUNE 21 - JUNE 27, 2024 BUSINESS OBSERVER PASCO COUNTY 1. Accessible 2. Archivable 3. Independent 4. Verifiable
Citizen Participation Notices
Government Meetings and Hearings Meeting Minutes or Summaries
Proposals Proposed Budgets and Tax Rates Land and Water Use Creation of Special Tax Districts School District Reports Zoning, Annexation and Land Use Changes Unclaimed Property, Banks or Governments Delinquent Tax Lists, Tax Deed Sales Government Property Sales Permit and License Applications
Agency
Mortgage Foreclosures
Name Changes
Stay Informed, It’s Your Right to Know. For legal notice listings go to: Legals.BusinessObserverFL.com To publish your legal notice call: 941-906-9386 or Legal@BusinessObserverFL.com Commercial NoticesCourt Notices XNLV18187

NOTICE OF FORECLOSURE SALE IN THE CIRCUIT COURT OF THE 6TH JUDICIAL CIRCUIT, IN AND FOR PASCO COUNTY, FLORIDA CIVIL DIVISION CASE NO. 2024CA000450CAAXWS LOANDEPOT.COM, LLC, Plaintiff, vs. TRACIE LEEANNE DECARO; DEVIN ROSS DECARO; UNKNOWN PERSON(S) IN POSSESSION OF THE SUBJECT PROPERTY, Defendant(s) NOTICE IS HEREBY GIVEN pursuant to a Final Judgment of Foreclosure filed May 9, 2024 and entered in Case No. 2024CA000450CAAXWS, of the Circuit Court of the 6th Judicial Circuit in and for PASCO County, Florida, wherein LOANDEPOT.COM, LLC is Plaintiff and TRACIE LEEANNE DECARO; DEVIN ROSS DECARO; UNKNOWN PERSON(S) IN POSSESSION OF THE SUBJECT PROPERTY; are defendants. NIKKI ALVAREZ-SOWLES, ESQ., the Clerk of the Circuit Court, will sell to the highest and best bidder for cash BY ELECTRONIC SALE AT: WWW.PASCO.REALFORECLOSE.

COM, at 11:00 A.M., on July 8, 2024, the following described property as set forth in said Final Judgment, to wit: LOT 22, HILLANDALE UNIT TWO, ACCORDING TO THE PLAT THEREOF, AS RECORDED IN PLAT BOOK 11, PAGES

108 AND 109, OF THE PUBLIC RECORDS OF PASCO COUNTY, FLORIDA. Any person claiming an interest in the surplus from the sale, if any, other than the property owner as of the date of the lis pendens must file a claim before the Clerk reports the surplus as unclaimed. This notice is provided pursuant to Administrative Order 2010-045 PA/PICIR “If you are a person with disability who needs any accommodation in order to participate in this proceeding, you are entitled, at no cost to you the provision of certain assistance. Please contact Public Information Dept., Pasco County Government Center, 7530 Little Rd., New Port Richey, FL 34654; (727) 847-8110 (V) for proceedings in New Port Richey; (352) 521-4274, ext. 8110 (V) for proceedings in Dade City at least 7 days before your scheduled court appearance, or immediately upon receiving this notification if the time before the scheduled appearance is less than 7 days; if you are hearing or voice impaired, call 711.”

Dated this 11th day of June 2024. Marc Granger, Esq. Bar. No.: 146870 Kahane & Associates, P.A. 1619 NW 136th Avenue, Suite D-220 Sunrise, Florida 33323

Telephone: (954) 382-3486 Telefacsimile: (954) 382-5380 Designated service email: notice@kahaneandassociates.com File No.: 24-00244 LND June 21, 28, 2024 24-01103P

NOTICE OF FORECLOSURE SALE IN THE CIRCUIT COURT OF THE 6TH JUDICIAL CIRCUIT, IN AND FOR PASCO COUNTY, FLORIDA CIVIL DIVISION: CASE NO.: 51-2024-CA-000922-CAAX-ES PINGORA LOAN SERVICING, LLC, Plaintiff, vs. RICHARD OHL A/K/A RICHARD L. OHL; HILLHURST CROSSING

HOMEOWNER’S ASSOCIATION, INC.; JPMORGAN CHASE BANK, N.A.; MEADOW POINTE III

HOMEOWNER’S ASSOCIATION, INC.; UNKNOWN SPOUSE OF HESTER BRINKLEY; UNKNOWN SPOUSE OF RICHARD OHL A/K/A RICHARD L. OHL; UNKNOWN TENANT IN POSSESSION OF THE SUBJECT PROPERTY, Defendants.

NOTICE IS HEREBY GIVEN pursuant to an Order or Final Judgment entered in the above styled cause now pending in said court and as required by Florida Statute 45.031(2), NIKKI ALVAREZSOWLES, ESQ as the Clerk of the Circuit Court shall sell to the highest and best bidder for cash electronically at www.pasco.realforeclose.com at 11:00 AM on the 11 day of July, 2024, the following described property as set forth in said Final Judgment, to wit: LOT 6, BLOCK 8, MEADOW

POINTE III PARCEL “U-U”, AC-

CORDING TO THE MAP OR PLAT THEREOF, AS RECORDED IN PLAT BOOK 59, PAGES 144 THROUGH 153, OF THE PUBLIC RECORDS OF PASCO COUNTY, FLORIDA. PROPERTY ADDRESS: 1044 SLEEPY OAK DRIVE, WESLEY CHAPEL, FL 33543

IF YOU ARE A PERSON CLAIMING A RIGHT TO FUNDS REMAINING AFTER THE SALE, YOU MUST FILE A CLAIM WITH THE CLERK NO LATER THAN THE DATE THAT THE CLERK REPORTS THE FUNDS AS UNCLAIMED. IF YOU FAIL TO FILE A CLAIM, YOU WILL NOT BE ENTITLED TO ANY REMAINING FUNDS. AFTER THE FUNDS ARE REPORTED AS UNCLAIMED, ONLY THE OWNER OF RECORD AS OF THE DATE OF THE LIS PENDENS MAY CLAIM THE SURPLUS.

If you are a person with a disability who needs an accommodation in order to participate in this proceeding, you are entitled, at no cost to you, to the provision of certain assistance. Please contact: Public Information Dept., Pasco County Government Center, 7530 Little Rd., New Port Richey, FL 34654; Phone: 727.847.8110 (voice) in New Port Richey, 352.521.4274, ext 8110

SUBSEQUENT INSERTIONS

DEL WEBB BEXLEY COMMUNITY DEVELOPMENT DISTRICT

NOTICE OF PUBLIC HEARING TO CONSIDER THE ADOPTION OF THE FY 2025 BUDGET; NOTICE OF PUBLIC HEARING TO CONSIDER THE IMPOSITION OF OPERATIONS AND MAINTENANCE SPECIAL ASSESSMENTS, ADOPTION OF AN ASSESSMENT ROLL, AND THE LEVY, COLLECTION, AND ENFORCEMENT OF THE SAME; AND NOTICE OF REGULAR BOARD OF SUPERVISORS’ MEETING.

The Board of Supervisors (“Board”) for the Del Webb Bexley Community Development District (“District”) will hold the following public hearings and regular meeting:

DATE: July 17, 2024

TIME: 1:00 P.M.

LOCATION: Del Webb Bexley Clubhouse 19265 Del Webb Boulevard Land O’ Lakes, Florida 34638

The first public hearing is being held pursuant to Chapter 190, Florida Statutes, to receive public comment and objections on the District’s proposed budget (“Proposed Budget”) for the fiscal year beginning October 1, 2024, and ending September 30, 2025 (“FY 2025”). The second public hearing is being held pursuant to Chapter 190, Florida Statutes, to consider the imposition of operations and maintenance special assessments (“O&M Assessments”) upon the lands located within the District to fund the Proposed Budget for FY 2025; to consider the adoption of an assessment roll; and to provide for the levy, collection, and enforcement of O&M Assessments. At the conclusion of the public hearings, the Board will, by resolution, adopt a budget and levy O&M Assessments as finally approved by the Board. A regular Board meeting of the District will also be held where the Board may consider any other District business that may properly come before it. Description of Assessments

The District imposes O&M Assessments on benefitted property within the District for the purpose of funding the District’s general administrative, operations, and maintenance budget. A description of the services to be funded by the O&M Assessments, and the properties to be improved and benefitted from the O&M Assessments, are all set forth in the Proposed Budget. A geographic depiction of the property potentially subject to the proposed O&M Assessments is identified in the map attached hereto. The table below shows the schedule of the proposed O&M Assessments, which are subject to change at the hearing: Land Use Total # of Units / Acres EAU Factor Proposed Annual O&M Assessment (including collection costs / early payment discounts)

SF 40’ 231 1.00

*includes collection costs and early payment discounts

NOTE: THE DISTRICT RESERVES ALL RIGHTS TO CHANGE THE LAND USES, NUMBER OF UNITS, EQUIVALENT ASSESSMENT OR RESIDENTIAL UNIT (“EAU/ERU”) FACTORS, AND O&M ASSESSMENT AMOUNTS AT THE PUBLIC HEARING, WITHOUT FURTHER NOTICE.

The proposed O&M Assessments as stated include collection costs and/or early payment discounts imposed on assessments collected by the Pasco County (“County”) Tax Collector on the tax bill. Moreover, pursuant to Section 197.3632(4), Florida Statutes, the lien amount shall serve as the “maximum rate” authorized by law for O&M Assessments, such that no public hearing on O&M Assessments shall be held or notice provided in future years unless the O&M Assessments are proposed to be increased or another criterion within Section 197.3632(4), Florida Statutes, is met. Note, the O&M Assessments do not include debt service assessments previously levied by the District, if any. For FY 2025, the District intends to have the County Tax Collector collect the O&M Assessments imposed on certain developed property and will directly collect the O&M Assessments on the remaining benefitted property, if any, by sending out a bill no later than November of this year. It is important to pay your O&M Assessment because failure to pay will cause a tax certificate to be issued against the property which may result in loss of title or, for direct billed O&M Assessments, may result in a foreclosure action which also may result in a loss of title. The District’s decision to collect O&M Assessments on the County tax roll or by direct billing does not preclude the District from later electing to collect those or other assessments in a different manner at a future time.

Additional Provisions

The public hearings and meeting are open to the public and will be conducted in accordance with the provisions of Florida law. A copy of the Proposed Budget, proposed assessment roll, and the agenda for the public hearings and meeting may be obtained at the offices of the District Manager, Rizzetta & Company, Inc., 3434 Colwell Avenue, Suite 200, Tampa, Florida 33614, Phone (813) 933-5571 (“District Manager’s Office”), during normal business hours, or by visiting the District’s website at http:// delwebbbexleycdd.org/. The public hearings and meeting may be continued in progress to a date, time certain, and place to be specified on the record at the public hearings or meeting. There may be occasions when staff or board members may participate by speaker telephone.

Any person requiring special accommodations at the public hearings or meeting because of a disability or physical impairment should contact the District Manager’s Office at least forty-eight (48) hours prior to the public hearings and meeting. If you are hearing or speech impaired, please contact the Florida Relay Service by dialing 7-1-1, or 1-800-955-8771 (TTY) / 1-800-955-8770 (Voice), for aid in contacting the District Manager’s Office.

Please note that all affected property owners have the right to appear at the public hearings and meeting and may also file written objections with the District Manager’s Office within twenty days of publication of this notice. Each person who decides to appeal any decision made by the Board with respect to any matter considered at the public hearings or meeting is advised that person will need a record of proceedings and that, accordingly, the person may need to ensure that a verbatim record of the proceedings is made, including the testimony and evidence upon which such appeal is to be based.

(voice) in Dade City, Or 711 for the

hearing impaired. Contact should be initiated at least seven days before the scheduled court appearance, or immediately upon receiving this notification if the time before the scheduled appearance is less than seven days. The court does not provide transportation and cannot a NOS FOR 06/11/2024 SALE, PENDING ATTORNEY REVIEW ccommodate such requests. Persons with disabilities needing transportation to court should contact their local public transportation providers for information regarding transportation services. Dated this 11 day of June 2024. By: /s/ Lindsay Maisonet Lindsay Maisonet, Esq. Bar Number: 93156

Submitted by: De Cubas & Lewis, P.A. PO Box 5026 Fort Lauderdale, FL 33310

Telephone: (954) 453-0365 Facsimile: (954) 77 1-6052 Toll Free: 1-800-441-2438 DESIGNATED PRIMARY E-MAIL FOR SERVICE PURSUANT TO FLA. R. JUD. ADMIN 2.516 eservice@decubaslewis.com

COUNTY charlotteclerk.com LEE COUNTY leeclerk.org

COUNTY collierclerk.com

HILLSBOROUGH COUNTY hillsclerk.com

PASCO COUNTY pascoclerk.com

PINELLAS COUNTY mypinellasclerk.gov

POLK COUNTY polkcountyclerk.net

ORANGE COUNTY myorangeclerk.com

SECOND INSERTION

PALMETTO RIDGE COMMUNITY DEVELOPMENT DISTRICT

NOTICE OF PUBLIC HEARING TO CONSIDER THE ADOPTION OF THE FISCAL YEAR 2024/2025 BUDGET(S); AND NOTICE OF REGULAR BOARD OF SUPERVISORS’ MEETING.

The Board of Supervisors (“Board”) of the Palmetto Ridge Community Development District (“District”) will hold a public hearing on July 16, 2024 and at 9:00 a.m., and at the offices of Rizzetta & Company, 5844 Old Pasco Road, Suite 100, Wesley Chapel, Florida 33544, for the purpose of hearing comments and objections on the adoption of the proposed budget(s) (“Proposed Budget”) of the District for the fiscal year beginning October 1, 2024 and ending September 30, 2025 (“Fiscal Year 2024/2025”). A regular board meeting of the District will also be held at that time where the Board may consider any other business that may properly come before it. A copy of the agenda and Proposed Budget may be obtained at the offices of the District Manager, Rizzetta & Company, 5844 Old Pasco Road, Suite 100, Wesley Chapel, Florida 33544 (“District Manager’s Office”), during normal business hours.

The public hearing and meeting are open to the public and will be conducted in accordance with the provisions of Florida law. The public hearing and meeting may be continued to a date, time, and place to be specified on the record at the meeting. There may be occasions when Board Supervisors or District Staff may participate by speaker telephone.

Any person requiring special accommodations at this meeting because of a disability or physical impairment should contact the District Manager’s Office at least forty-eight (48) hours prior to the meeting. If you are hearing or speech impaired, please contact the Florida Relay Service by dialing 7-1-1, or 1-800-955-8771 (TTY) / 1-800-955-8770 (Voice), for aid in contacting the District Manager’s Office.

Each person who decides to appeal any decision made by the Board with respect to any matter considered at the public hearing or meeting is advised that person will need a record of proceedings and that accordingly, the person may need to ensure that a verbatim record of the proceedings is made, including the testimony and evidence upon which such appeal is to be based. Jillian Minichino

District Manager June 14, 21, 2024

NOTICE OF ACTION IN THE CIRCUIT COURT FOR THE SIXTH JUDICIAL CIRCUIT IN AND FOR PASCO COUNTY, FLORIDA CIRCUIT CIVIL DIVISION CASE NO.: 2024CA001076CAAXWS AMERISAVE MORTGAGE CORPORATION Plaintiff(s), vs. TRAVIS DIETRICH; THE UNKNOWN SPOUSE OF TRAVIS DIETRICH; LOANPAL, LLC.; THE UNKNOWN TENANT IN POSSESSION, Defendant(s). TO: TRAVIS DIETRICH

LAST KNOWN ADDRESS: 11205 WHITE OAK LANE, PORT RICHEY, FL 34668

CURRENT ADDRESS: 11205 WHITE OAK LANE, PORT RICHEY, FL 34668

TO: THE UNKNOWN SPOUSE OF TRAVIS DIETRICH

LAST KNOWN ADDRESS: 11205

WHITE OAK LANE, PORT RICHEY, FL 34668

CURRENT ADDRESS: 11205 WHITE OAK LANE, PORT RICHEY, FL 34668

TO: THE UNKNOWN TENANT IN POSSESSION

LAST KNOWN ADDRESS: 11205

WHITE OAK LANE, PORT RICHEY, FL 34668

CURRENT ADDRESS: 11205 WHITE OAK LANE, PORT RICHEY, FL 34668

YOU ARE HEREBY NOTIFIED that a civil action has been filed against you in the Circuit Court of Pasco County, Florida, to foreclose certain real property described as follows: THE LAND HEREINAFTER REFERRED TO IS SITUATED IN THE CITY OF PORT RICHEY, COUNTY OF PASCO, STATE OF FL, AND IS DESCRIBED AS FOLLOWS:LOT 669, UNRECORDED PLAT OF PALM TERRACE GARDENS, UNIT 4, AS DESCRIBED IN O.R. BOOK 727, PAGE 275; AMENDED IN O.R. BOOK 739, PAGE 153, PUBLIC RECORDS OF PASCO COUNTY, FLORIDA .. Property address: 11205 White Oak Lane, Port Richey, FL 34668

You are required to file a written response with the Court and serve a copy of your written defenses, if any, to it on Padgett Law Group, whose address is 6267 Old Water Oak Road, Suite 203, Tallahassee, FL 32312, at least thirty (30) days from the date of first publication, and file the original with the clerk of this court either before service on Plaintiff’s attorney or immediately thereafter; otherwise, a default will be entered against you for the relief demanded in the complaint. DUE ON OR BEFORE JULY 15TH, 2024

24-01089P

If you are a person with a disability who needs any accommodation in order to participate in this proceeding, you are entitled, at no cost to you, to the provision of certain assistance. Please contact the Public Information Dept., Pasco County Government Center, 7530 Little Rd., New Port Richey, FL 34654;

35 JUNE 21 - JUNE 27, 2024 BusinessObserverFL.com PASCO COUNTY
$581.82
50’ 413 1.00 $581.82
65’ 206 1.00 $581.82
SF
SF
June 14, 21, 2024 24-01085P
Jillian Minichino District Manager
---
PUBLIC SALES / ACTION ---
(727) 8478110 (V) in New Port Richey; (352) 521-4274, ext 8110 (V) in Dade City, at least 7 days before your scheduled court appearance, or immediately upon receiving this notification if the time before the scheduled appearance is less than 7 days; if you are hearing impaired call 711. The court does not provide transportation and cannot accommodate for this service. Persons with disabilities needing transportation to court should contact their local public transportation providers for information regarding transportation services. DATED this the June 11, 2024. CLERK OF THE CIRCUIT COURT As Clerk of the Court Nichole Alvarez-Sowles Pasco County Clerk & Comptroller (SEAL) BY: /s/ Haley Joyner Deputy Clerk Padgett Law Group 6267 Old Water Oak Road, Suite 203 Tallahassee, FL 32312 attomey@padgettlawgroup.com TDP File No. 24-001938-1 June 14, 21, 2024 24-01096P SECOND INSERTION SECOND INSERTION HOW TO PUBLISH YOUR LEGAL NOTICE IN THE BUSINESS OBSERVER CALL 941-906-9386 and select the appropriate County name from the menu option or e-mail legal@businessobserverfl.com
24-00109
21, 28 2024 24-01117P
June
--- ACTIONS --- OFFICIAL COURTHOUSE WEBSITES MANATEE COUNTY manateeclerk.com SARASOTA COUNTY sarasotaclerk.com CHARLOTTE
COLLIER
LV20890_V5 FIRST INSERTION FIRST INSERTION SAVE TIME Email your Legal Notice legal@businessobserverfl.com Deadline Wednesday at noon Friday Publication SARASOTA • MANATEE • HILLSBOROUGH • PASCO PINELLAS • POLK • LEE • COLLIER •CHARLOTTE LV20906_V33

SECOND INSERTION

NOTICE OF PUBLIC SALE

The following personal property of GARY EUGENE MORRISON and UNKNOWN PARTY IN POSSESSION will, on June 26, 2024, at 10:00 a.m., at 11310 U.S. Highway 19, Lot 203, Port Richey, Pasco County, Florida 34668; be sold for cash to satisfy storage fees in accordance with Florida Statutes, Section 715.109: 1972 LIBT MOBILE HOME, VIN: G5285, VIN: 0004970133 and all other personal property located therein

PREPARED BY:

J. Matthew Bobo

Lutz, Bobo & Telfair, P.A.

2 North Tamiami Trail, Suite 500

Sarasota, Florida 34236

June 14, 21, 2024

24-01091P

SECOND INSERTION

NOTICE OF SHERIFF’S SALE

Notice is hereby given that pursuant to a Writ of Execution issued in Pasco County Civil Court, Court of Pasco County, Florida on the 14th day of July, 2022, in the cause wherein Grand Oaks Master Association, was Plaintiff, and Circle Trustee Co Inc., was Defendant, being case number 2016CA 1672 in said Court.

I, Chris Nocco, as Sheriff of Pasco County, Florida, have levied upon all the right, title, and interest of the defendant, Circle Trustee Co Inc., in and to the following described property, to wit: LOT 58, SABLE RIDGE, PHASE 3A, ACCORDING TO THE MAP OR PLAT THEREOF, AS RECORDED IN PLAT BOOK 41, PAGES 147 AND 148, OF THE PUBLIC RECORDS OF PASCO, COUNTY, FLORIDA. 4146 TARKINGTON DRIVE, LAND 0’ LAKES, FL 34639

I shall offer this property for sale “AS IS” on July 17, 2024, 10:00 am, or as soon thereafter as possible, at the Sheriff’s Office West Operations Center 7432 Little Road, New Port Richey, FL 34654 in the County of Pasco, State of Florida. I will offer for sale all of the Defendant’s right, title, and interest in aforesaid property at public outcry and will sell the same, subject to all prior liens, encumbrances, and judgments, if any, to the highest and best bidder or bidders for CASH IN HAND, the proceeds to be applied as far as may be to the payment of costs and the satisfaction of the above-described execution.

Shumaker Loop & Kendrick LLP 10 l East Kennedy Boulevard Suite 2800 Tampa, FL 33602

June 14, 21, 28; July 5, 2024

CHRIS NOCCO, as Sheriff Pasco County, Florida By: /s/ Sgt. John Dill Sgt. John Dill Deputy Sheriff

24-01092P

SECOND INSERTION

NOTICE OF LANDOWNERS’ MEETING AND ELECTION AND ORGANIZATIONAL MEETING OF THE BOARD OF SUPERVISORS OF THE MAGNOLIA ISLAND COMMUNITY DEVELOPMENT DISTRICT

Notice is hereby given to the public and all landowners within Magnolia Island Community Development District (“District”), the location of which is generally described as comprising a parcel or parcels of land containing approximately 202.314 acres, generally located entirely within unincorporated Pasco County, Florida, advising that a meeting of landowners will be held for the purpose of electing five (5) persons/people to the District’s Board of Supervisors (“Board”, and individually, “Supervisor”). Immediately following the landowners’ meeting, there will be convened an organizational meeting of the Board for the purpose of considering certain matters of the Board to include election of certain District officers, appointment of staff including, but not limited to, manager, attorney and other such business deemed appropriate which may properly come before the Board.

DATE: July 8, 2024

TIME: 11:00 AM

PLACE: Hampton Inn & Suites by HiltonTampa/Wesley Chapel 2740 Cypress Ridge Blvd. Wesley Chapel, Florida 33544

Each landowner may vote in person or by written proxy. Proxy forms may be obtained upon request at the office of the District Manager, c/o Wrathell, Hunt & Associates, LLC, 2300 Glades Road, Suite 410W, Boca Raton, Florida 33431 (“District Manager’s Office”). At said meeting each landowner or his or her proxy shall be entitled to nominate persons for the position of Supervisor and cast one vote per acre of land, or fractional portion thereof, owned by him or her and located within the District for each person to be elected to the position of Supervisor. A fraction of an acre shall be treated as one acre, entitling the landowner to one vote with respect thereto. Platted lots shall be counted individually and rounded up to the nearest whole acre. The acreage of platted lots shall not be aggregated for determining the number of voting units held by a landowner or a landowner’s proxy. At the landowners’ meeting the landowners shall select a person to serve as the meeting chair and who shall conduct the meeting.

The landowners’ meeting and the Board meeting are open to the public and will be conducted in accordance with the provisions of Florida law. One or both of the meetings may be continued to a date, time, and place to be specified on the record at such meeting. A copy of the agenda for these meetings may be obtained from the District Manager’s Office. There may be an occasion where one or more supervisors will participate by telephone.

Any person requiring special accommodations to participate in these meetings is asked to contact the District Manager’s Office, at least 48 hours before the hearing. If you are hearing or speech impaired, please contact the Florida Relay Service by dialing 7-1-1, or 1-800-955-8771 (TTY) / 1-800-955-8770 (Voice), for aid in contacting the District Manager’s Office.

A person who decides to appeal any decision made by the Board with respect to any matter considered at the meeting is advised that such person will need a record of the proceedings and that accordingly, the person may need to ensure that a verbatim record of the proceedings is made, including the testimony and evidence upon which the appeal is to be based.

District Manager

June 14, 21, 2024

24-01088P

NOTICE TO CREDITORS IN THE CIRCUIT COURT FOR PASCO COUNTY, FLORIDA PROBATE DIVISION File No. 24-CP-000779 IN RE: ESTATE OF ROBERT MELVIN BARTLETT, Deceased. The administration of the estate of Robert Melvin Bartlett, deceased, whose date of death was September 5, 2023, is pending in the Circuit Court for Pasco County, Florida, Probate Division, the address of which is 7530 Little Road, New Port Richey, FL 34654. The

NOTICE TO HEIRS IN THE CIRCUIT COURT FOR PASCO COUNTY, FLORIDA

PROBATE DIVISION

CASE NO.: 2024CP000922CPAXWS IN RE: ESTATE OF OSCAR MANUEL SYLVIA, SR., Deceased.

The administration of the Estate of OSCAR MANUEL SYLVIA, SR., deceased, who died on December 15, 1996, is pending in the Circuit Court for Pasco County, Florida, Probate Division, the address of which is the Honorable James R. Stearns, 7530 Little Road, Room 316, New Port Richey, Florida 34654. The names and addresses of the petitioner and the petitioner’s attorney are set forth below.

There is an action pending in the Circuit Court for Pasco County, Florida, Probate Division for summary administration, to determine the homestead status of the decedent’s real property

NOTICE OF ACTION FORECLOSURE PROCEEDINGSPROPERTY IN THE CIRCUIT COURT OF THE SIXTH JUDICIAL CIRCUIT IN AND FOR PASCO COUNTY, FLORIDA CIVIL ACTION Case #: 2024CA000980CAAXWS DIVISION: J3 Truist Bank Plaintiff, -vs.Samantha Jo Reszler a/k/a Samantha J. Reszler a/k/a Samantha Reszler; William McQuilkin, Jr.; Truist Bank, successor by merger to SunTrust Bank d/b/a Lightstream; Unknown Parties in Possession #1, if living, and all Unknown Parties claiming by, through, under and against the above named Defendant(s); Unknown Parties in Possession #2, if living, and all Unknown Parties claiming by, through, under and against the

NOTICE OF ACTION IN THE CIRCUIT COURT OF THE SIXTH JUDICIAL CIRCUIT IN AND FOR PASCO COUNTY, FLORIDA CASE NO.: 2024 CA 001278 BANK OF NEW YORK MELLON TRUST COMPANY, N.A. AS TRUSTEE FOR MORTGAGE ASSETS MANAGEMENT SERIES I TRUST, Plaintiff, VS. UNKNOWN HEIRS, BENEFICIARIES, DEVISEES, SURVIVING SPOUSE, GRANTEES, ASSIGNEE, LIENORS, CREDITORS, TRUSTEES, AND ALL OTHER PARTIES CLAIMING AN INTEREST BY, THROUGH, UNDER, OR AGAINST THE ESTATE OF EVELYN JOSEPH,

names and addresses of the personal representative and the personal representative’s attorney are set forth below. All creditors of the decedent and other persons having claims or demands against decedent’s estate on whom a copy of this notice is required to be served must file their claims with this court ON OR BEFORE THE LATER OF 3 MONTHS AFTER THE TIME OF THE FIRST PUBLICATION OF THIS NOTICE OR 30 DAYS AFTER THE DATE OF SERVICE OF A COPY OF THIS NOTICE ON THEM. All other creditors of the decedent

THIRD INSERTION SECOND INSERTION

and to sell the real property once it is determined to be the homestead of the decedent. The property is located at 1731 DOUBLOON DRIVE, HOLIDAY, FLORIDA, 34690, with a legal description of LOT 256, FOREST HILLSUNIT NO. 5, ACCORDING TO THE PLAT THEREOF AS RECORDED IN PLAT BOOK 8, PAGE 34, PUBLIC RECORDS OF PASCO COUNTY, FLORIDA, together with improvements thereon with the county Tax Identification number: 32-26-16-0060-00000-2560. The decedent was married and survived by a lineal descendant, Oscar Sylvia Jr., described in Florida Statutes § 732.103, who died after Oscar Manuel Sylvia, Sr. It is known that the spouse and lineal descendant of the decedent are deceased. It is not believed that Oscar Sylvia Jr. had any lineal descendants, and his current heirs under Florida law are unknown. As a result of the foregoing, a ¼ (one-quarter) interest in the decedent’s homestead property

and other persons having claims or demands against decedent’s estate must file their claims with this court WITHIN 3 MONTHS AFTER THE DATE OF THE FIRST PUBLICATION OF THIS NOTICE. ALL CLAIMS NOT FILED WITHIN THE TIME PERIODS SET FORTH IN FLORIDA STATUTES SECTION 733.702 WILL BE FOREVER BARRED. NOTWITHSTANDING THE TIME PERIODS SET FORTH ABOVE, ANY CLAIM FILED TWO (2) YEARS OR MORE AFTER THE DECEDENT’S DATE OF DEATH IS BARRED.

vested, based on the intestacy laws of the State of Florida, in the Estate of Oscar Sylvia, Jr. Pursuant to Florida Statutes § 49.011, any beneficiary who has not joined the Petition for Summary Administration and the Petition to Determine Homestead Status of Real Property shall have 28 days from the date of the first publication of this notice to contact either the court or the petitioner’s attorney and join the petition(s) or file an objection. If the beneficiary fails to do either, an Order of Summary Administation and an Order Determining Homestead Status of Real Property will be entered by the Court. The Orders will authorize the proceeds from the sale of the property described above owed to any beneficiary who fails to contact either the court or the petitioner’s attorney to be deposited into the court registry. Further, the Orders will authorize the appointment of a special magistrate, Dennis A. Creed, III

SECOND INSERTION

above named Defendant( s) Defendant(s). TO: Samantha Jo Reszler a/k/a Samantha J. Reszler a/k/a Samantha Reszler: LAST KNOWN ADDRESS: 9005 Lido Lane, Port Richey, FL 34668 and William McQuilkin, Jr.: LAST KNOWN ADDRESS: 9005 Lido Lane, Port Richey, FL 34668 Residence unknown, if living, including any unknown spouse of the said Defendants, if either has remarried and if either or both of said Defendants are dead, their respective unknown heirs, devisees, grantees, assignees, creditors, lienors, and trustees and all other persons claiming by, through, under or against the named Defendant(s); and the aforementioned named Defendant(s) and such of the aforementioned unknown Defendants and such of the aforementioned unknown Defendants as may be infants, incompetents or otherwise not sui juris. YOU ARE HEREBY NOTIFIED that an action has been commenced to fore-

close a mortgage on the following real property, lying and being and situated in Pasco County, Florida, more particularly described as follows: LOT 844, EMBASSY HILLS UNIT FIVE, ACCORDING TO THE MAP OR PLAT THEREOF AS RECORDED IN PLAT BOOK 12, PAGES 34 THROUGH 36, PUBLIC RECORDS OF PASCO COUNTY, FLORIDA. more commonly known as 9005 Lido Lane, Port Richey, FL 34668. This action has been filed against you and you are required to serve a copy of your written defense, if any, upon LOGS LEGAL GROUP LLP, Attorneys for Plaintiff, whose address is 750 Park of Commerce Blvd., Suite 130, Boca Raton, FL 33487, on or before July 15th, 2024 and file the original with the clerk of this Court either before with service on Plaintiffs attorney or immediately thereafter; otherwise a default will be entered against you for the relief de-

SECOND INSERTION

DECEASED; et al., Defendant(s). TO: Unknown Heirs, Beneficiaries, Devisees, Surviving Spouse, Grantees, Assignee, Lienors, Creditors, Trustees, And All Other Parties Claiming An Interest By, Through, Under, Or Against The Estate Of Evelyn Joseph, Deceased Last Known Residence: Unknown YOU ARE NOTIFIED that an action to foreclose a mortgage on the following property in PASCO County, Florida: LOT 1434, REGENCY PARK UNIT 9, ACCORDING TO THE MAP OR PLAT THEREOF AS RECORDED IN PLAT BOOK 15, PAGE 11, PUBLIC RECORDS OF PASCO COUNTY, FLORIDA. has been filed against you and you are required to serve a copy of your written

defenses, if any, to it on ALDRIDGE PITE, LLP, Plaintiff’s attorney, at 5300 West Atlantic Avenue Suite 303 Delray Beach, FL 33484, on or before July 15th, 2024, and file the original with the clerk of this court either before service on Plaintiff’s attorney or immediately thereafter; otherwise a default will be entered against you for the relief demanded in the complaint or petition.

(Creed Law Group), to sign any closing paperwork on behalf of any beneficiary who fails to contact either the court or the petitioner’s attorney. The special magistrate shall be compensated at a rate of $350 per hour, which will be deducted from the proceeds of the sale prior to disbursement of any funds to the beneficiaries. The date of first publication of this notice is June 7, 2024. Richard DeStefano Petitioner & Beneficiary 9716 Glen Moor Lane Port

manded in the Complaint. If you are a person with a disability who needs any accommodation in order to participate in this proceeding, you are entitled, at no cost to you, to the provision of certain assistance. Please contact the Public Information Dept,. Pasco County Government Center, 7530 Little Rd., New Port Richey, FL 34654; (727) 847-8110 (V) in New Port Richey; (352) 521-4274, ext 8110 (V) in Dade City, at least 7 days before your scheduled court appearance, or immediately upon receiving this notification if the time before the scheduled appearance is less than 7 days; if you are hearing impaired, call 711. WITNESS my hand and the seal of this Court on the June 11, 2024. Nikki Alvarez-Sowles Circuit and County Courts By: Haley Joyner Deputy Clerk 24-330934 FC0l SUT June 14, 21, 2024 24-01094P

If you are a person with a disability who needs any accommodation in order to participate in this proceeding, you are entitled, at no cost to you, to the provision of certain assistance. Please contact the Public Information Dept., Pasco County Government Center, 7530 Little Rd., New Port Richey, FL 34654; (727) 847-8110 (V) in New Port Richey; (352) 521-4274, ext 8110 (V) in Dade City, at least 7 days before your scheduled court appearance, or immediately upon receiving this notification if the time before the scheduled appearance is less than 7 days; if you are hearing impaired call 711. The court does not provide transportation and cannot accommodate for this service. Persons with disabilities needing transportation to court should contact

36 JUNE 21 - JUNE 27, 2024 BUSINESS OBSERVER PASCO COUNTY
Richey, Florida, 34668 Aaron J. Bedy Attorney for the Petitioner Bedy Law, PLLC 13043 West Linebaugh Avenue Tampa, Florida 33626 727-308-0529 Florida Bar No.: 99293 aaron@bedylaw.com June 7, 14, 21, 28, 2024 24-01025P
The date of first publication of this notice is June 14, 2024. Personal Representative: Linda Susan Bartlett 20359 Sea Glass Circle Land O’Lakes, Florida 34638 Attorney for Personal Representative: Linda S.
June 14, 21, 2024 24-01099P
Faingold, Esquire Florida Bar Number: 011542 5334 Van Dyke Road Lutz, FL 33558 Telephone: (813) 963-7705 Fax: (888) 673-0072 E-Mail: linda@tampabayelderlaw.com
local public transportation
2024.
Clerk of the Court
Haley Joyner As Deputy Clerk
14, 21, 2024 24-01072P
their
providers for information regarding transportation services. Dated on June 10th,
As
By:
1395-11788 Ref# 8160 June
--- ESTATE -----
---
ACTIONS
--- PUBLIC SALES --LV10168 legal@businessobserverfl.com SAVE TIME E-mail your Legal Notice

NOTICE OF FORECLOSURE SALE

PURSUANT TO CHAPTER 45 IN THE CIRCUIT COURT OF THE SIXTH JUDICIAL CIRCUIT IN AND FOR PASCO COUNTY, FLORIDA CASE NO.: 2019CA001541CAAXES

CITIMORTGAGE, INC., Plaintiff, VS. MARIA J.C. HOLT A/K/A MARIA J. HOLT; FLETCHER C. HOLT JR.; FORD MOTOR CREDIT COMPANY

LLC A DELAWARE LIMITED LIABILITY COMPANY FKA; UNKNOWN TENANT 1; UNKNOWN TENANT 2; CAPITAL ONE BANK (USA), N.A.; ANY AND ALL UNKNOWN PARTIES CLAIMING BY, THROUGH, UNDER AND AGAINST THE HEREIN NAMED INDIVIDUAL DEFENDANT(S) WHO ARE NOT KNOWN TO BE DEAD OR ALIVE, WHETHER SAID UNKNOWN PARTIES MAY CLAIM AN INTEREST AS SPOUSES, HEIRS, DEVISEES, GRANTEES, OR OTHER CLAIMANTS Defendant(s).

NOTICE OF SALE

PURSUANT TO CHAPTER 45 IN THE CIRCUIT COURT OF THE SIXTH JUDICIAL CIRCUIT IN AND FOR PASCO COUNTY, FLORIDA CIVIL ACTION CASE NO.: 2023CA003875CAAXES

FEDERAL HOME LOAN

MORTGAGE CORPORATION, AS TRUSTEE FOR THE BENEFIT OF THE FREDDIE MAC SEASONED CREDIT RISK TRANSFER TRUST, SERIES 2018-4, Plaintiff, vs. DONNA JEAN WATSON AKA DONNA WATSON, et al, Defendant(s). NOTICE IS HEREBY GIVEN Pursuant to a Final Judgment of Foreclosure dated May 6, 2024, and entered in Case No. 2023CA003875CAAXES of the Circuit Court of the Sixth Judicial Circuit in and for Pasco County, Florida in which Federal Home Loan Mortgage Corporation, as Trustee for the benefit of the Freddie Mac Seasoned Credit Risk Transfer Trust, Series 2018-4, is the Plaintiff and Christopher D. Watson, Donna Jean Watson aka Donna Watson, are defendants, the Pasco County Clerk of the Circuit Court will sell to the highest and best bidder for cash in/on online at www.pasco.realforeclose.com, Pasco County, Florida at 11:00 am on the July 8, 2024 the following described property as set forth in said Final Judgment of Foreclosure: TRACT 608 OF THE UNRECORDED PLAT OF LEISURE

HILLS SUBDIVISION BEING FURTHER DESCRIBED AS FOLLOWS: THE EAST 1/2 OF THE NORTHEAST 1/4 OF THE SOUTHWEST 1/4 OF THE NORTHEAST 1/4 OF THE SOUTHWEST 1/4 OF SECTION 4, TOWNSHIP 24 SOUTH,

AMENDED NOTICE OF SALE (SCRIVENER’S ERROR) IN THE CIRCUIT COURT OF THE SIXTH JUDICIAL CIRCUIT IN AND FOR PASCO COUNTY, FLORIDA CASE NO.: 2023CC000642 FLA POOLS, INC., a Florida corporation, Plaintiff, vs. THE ESTATE OF EDWARD RADEMAKER, and the UNKNOWN HEIRS, BENEFICIARIES, DEVISEES, GRANTEES, ASSIGNEES, LIENORS, CREDITORS, TRUSTEES, and all other who may claim an interest by, through, under or against Edward Rademaker, Deceased, or the Estate of Edward Rademaker, Deceased, LEXINGTON OAKS OF PASCO COUNTY HOMEOWNERS ASSOICATION, a Florida corporation, and RAHEEM RADEMAKER, an individual, Defendants.

NOTICE IS HEREBY GIVEN that pursuant to the “Final Judgment of Foreclosure,” entered in Case No. 2023CC000642 on June 4, 2024, in the Sixth Judicial Circuit Court, in and for Pasco County, Florida, wherein FLA Pools, Inc., Plaintiff, and the Estate of Edward Rademaker, and the Unknown Heirs, Beneficiaries, Devisees, Grantees, Assignees, Lienors, Creditors, Trustees, and all other who may claim an interest by, through, under or against Edward Rademaker, Deceased, or the Estate of Edward Rademaker, Deceased (collectively, the “Estate”), Lexington Oaks Of Pasco County Homeowners Association, a Florida corporation (the “HOA”), and Raheem Rademaker, an individual (“R. Rademaker”), collectively, the Defendants, will sell to the highest and best bidder for cash, the real property situated in Pasco County, Florida, described below to the highest bidder, for cash, www.pasco. realforeclose.com at 11:00 A.M. on the 3rd day of July 2024, the following described property as set forth in

NOTICE IS HEREBY GIVEN that sale will be made pursuant to an Order or Final Judgment. Final Judgment was awarded on April 18, 2024 in Civil Case No. 2019CA001541CAAXES, of the Circuit Court of the SIXTH Judicial Circuit in and for Pasco County, Florida, wherein, CITIMORTGAGE, INC. is the Plaintiff, and MARIA J.C. HOLT A/K/A MARIA J. HOLT; FLETCHER C. HOLT JR.; FORD MOTOR CREDIT COMPANY LLC A DELAWARE LIMITED LIABILITY COMPANY FKA; UNKNOWN TENANT 1; UNKNOWN TENANT 2; CAPITAL ONE BANK (USA), N.A.; ANY AND ALL UNKNOWN PARTIES CLAIMING BY, THROUGH, UNDER AND AGAINST THE HEREIN NAMED INDIVIDUAL DEFENDANT(S) WHO ARE NOT KNOWN TO BE DEAD OR ALIVE, WHETHER SAID UNKNOWN PARTIES MAY CLAIM AN INTEREST AS SPOUSES, HEIRS, DEVISEES, GRANTEES, OR OTHER CLAIMANTS are Defendants. The Clerk of the Court, Nikki Alvarez-Sowles, Esq. will sell to the

RANGE 18 EAST, PASCO COUNTY, FLORIDA, LESS THE SOUTHERN 25 FEET THEREOF FOR ROAD-WAY PURPOSES. A/K/A 18329 FERRERA AVENUE SPRING HILL FL 34610

Any person claiming an interest in the surplus from the sale, if any, other than the property owner as of the date of the Lis Pendens must file a claim before the Clerk reports the surplus as unclaimed. If you are a person with a disability who needs an accommodation in order to participate in this proceeding, you are entitled, at no cost to you, to the provision of certain assistance. Please contact: Public Information Dept., Pasco County Government Center, 7530 Little Rd., New Port Richey, FL 34654 Phone: 727.847.8110 (voice) in New Port Richey or 352.521.4274, ext 8110 (voice) in Dade City or 711 for the hearing impaired.

Contact should be initiated at least seven days before the scheduled court appearance, or immediately upon receiving this notification if the time before the scheduled appearance is less than seven days.

The court does not provide transportation and cannot accommodate such requests. Persons with disabilities needing transportation to court should contact their local public transportation providers for information regarding transportation services.

Dated this 29 day of May, 2024.

ALBERTELLI LAW

P. O. Box 23028 Tampa, FL 33623 Tel: (813) 221-4743 Fax: (813) 221-9171

eService: servealaw@albertellilaw.com

By: /s/ Charline Calhoun .Florida Bar #16141

LR- 23-002922 June 14, 21, 2024 24-01070P

said Final Judgment, to wit: Lot 68, Block 8, of LEXINGTON OAKS, PHASE 1, according to the Plat thereof, as recorded in Plat Book 36, Pages 57 through 75, inclusive, of the Public Records of Pasco County, Florida. Any person claiming an interest in the surplus from the sale, if any, other than the property owner as of the date of the lis pendens must file a claim within 60 days after the sale. IMPORTANT AMERICANS WITH DISABILITIES ACT: If you are a person with a disability who needs an accommodation in order to participate in this proceeding, you are entitled, at no cost to you, to the provision of certain assistance. Please contact: Public Information Dept., Pasco County Government Center, 7530 Little Rd., New Port Richey, FL 34654; Phone: 727.847.8110 (voice) in New Port Richey, 352.521.4274, ext 8110 (voice) in Dade City, Or 711 for the hearing impaired. Contact should be initiated at least seven days before the scheduled court appearance, or immediately upon receiving this notification if the time before the scheduled appearance is less than seven days. The court does not provide transportation and cannot accommodate such requests. Persons with disabilities needing transportation to court should contact their local public transportation providers for information regarding transportation services.

Dated: June 6, 2024

/s/ Catherine Paige Andringa TOWNSEND BELT, ESQUIRE Florida Bar Number: 66811 tbelt@anthonyandpartners.com

CATHERINE PAIGE ANDRINGA, ESQ. Florida Bar Number: 1028374 cpandringa@anthonyandpartners.com

Anthony & Partners, LLC

100 S. Ashley Drive, Suite 1600 Tampa, Florida 33602

Telephone: 813/273-5616

Facsimile: 813/221-4113

Attorneys for the FLA Pools June 14, 21, 2024 24-01043P

PASCO COUNTY

highest bidder for cash at www.pasco. realforeclose.com on July 17, 2024 at 11:00:00 AM EST the following described real property as set forth in said Final Judgment, to wit: LOT 9, BLOCK 4, MADILL SUBDIVISION, ACCORDING TO MAP OR PLAT THEREOF AS RECORDED IN PLAT BOOK 5, PAGE 106 OF THE PUBLIC RECORDS OF PASCO COUNTY, FLORIDA.

TOGETHER WITH: THAT PORTION OF LOT 10, BLOCK 4, MADILL SUBDIVISION, ACCORDING TO MAP OR PLAT THEREOF AS RECORDED IN PLAT BOOK 5, PAGE 106 OF THE PUBLIC RECORDS OF PASCO COUNTY, FLORIDA, DESCRIBED AS FOLLOWS: COMMENCING AT THE SOUTHWEST CORNER OF SAID LOT 10 AS A POINT OF BEGINNING, RUN S 89°09’45”E, 90.00 FEET TO THE EAST LINE OF SAID LOT 10: THENCE RUN S 01°11’06”W

NOTICE OF FORECLOSURE SALE IN THE CIRCUIT COURT OF THE SIXTH JUDICIAL CIRCUIT IN AND FOR PASCO COUNTY, FLORIDA CIVIL DIVISION Case No.: 2023-CA-004252

ZUBAIDA ZAFRULLAH, as Trustee of the ZUBAIDA ZAFRULLAH REVOCABLE TRUST AGREEMENT dated December 13, 2013, Plaintiff, v. ABDEL MONEIM ABDEL MAGID, UNKNOWN SPOUSE OF ABDEL MONEIM ABDEL MAGID, UNKNOWN PARTY #1, UNKNOWN PARTY #2, UNKNOWN PARTY #3, AND UNKNOWN PARTY #4, THE NAMES BEING FICTITIOUS TO ACCOUNT FOR PARTIES IN POSSESSION. Defendants.

Notice is hereby given that pursuant to the final judgment of foreclosure entered on May 13, 2024, in Case number 2023-CA-004252 of the circuit court of the SIXTH JUDICIAL CIRCUIT for PASCO COUNTY, Florida, in which ZUBAIDA ZAFRULLAH, as Trustee of the ZUBAIDA ZAFRULLAH REVOCABLE TRUST AGREEMENT dated December 13, 2013 is plaintiff, and ABDEL MONEIM ABDEL MAGID, UNKNOWN SPOUSE OF ABDEL MONEIM ABDEL MAGID, UNKNOWN PARTY #1, UNKNOWN PARTY #2, UNKNOWN PARTY #3, AND UNKNOWN PARTY #4, THE NAMES BEING FICTITIOUS TO ACCOUNT FOR PARTIES IN POSSESSION are defendants, I, Nikkia Alvarez-Sowles, Esq., as Clerk of the Circuit Court will sell at public sale to the highest and best bidder for cash at www.pasco.realforeclosure.com, at 11:00 AM, on July 8, 2024 the following-described real property as set forth in said final judgment: LOTS 5, 6 and 7, THE REPLAT

NOTICE OF FORECLOSURE SALE IN THE CIRCUIT COURT OF THE SIXTH JUDICIAL CIRCUIT IN AND FOR PASCO COUNTY, FLORIDA GENERAL JURISDICTION DIVISION Case No. 2020CA002264CAAXWS

U.S. Bank National Association, as Trustee for Residential Asset Securities Corporation, Home Equity Mortgage Asset-Backed Pass-Through Certificates, Series 2005-AHL3, Plaintiff, vs. The Unknown Heirs, Devisees, Grantees, Assignees, Lienors, Creditors, Trustees, and all other parties claiming interest by, through, under or against the Estate of Kimberly Richie a/k/a Kimberley Ann Richie a/k/a Kim Richie, Deceased, et al., Defendants.

NOTICE IS HEREBY GIVEN pursuant to the Final Judgment and/or Order Rescheduling Foreclosure Sale, entered in Case No. 2020CA002264CAAXWS of the Circuit Court of the SIXTH Judicial Circuit, in and for Pasco County, Florida, wherein U.S. Bank National Association, as Trustee for Residential Asset Securities Corporation, Home Equity Mortgage Asset-Backed Pass-Through Certificates, Series 2005-AHL3 is the Plaintiff and The Unknown Heirs, Devisees, Grantees, Assignees, Lienors, Creditors, Trustees, and all other parties claiming interest by, through, under or against the Estate of Kimberly Richie a/k/a Kimberley Ann Richie a/k/a Kim Richie, Deceased; Ann Marie Goodwin; Jabob Richie; Jaqueline Marie Rose Richie a/k/a Jaqueline Marie Richie a/k/a Jacqueline Marie Richie; Johnathan Michael Richie a/k/a Jonathan Michael Richie are the Defendants, that Nikki Alvarez-Sowles, Pasco County Clerk of Court will sell to the highest and best bidder for cash at, www.pasco.

7.92 FEET TO THE SOUTHEAST CORNER OF SAID LOT 10 THENCE N 84°07’40”W, 90.29 FEET ALONG THE SOUTH LINE OF LOT 10 TO THE POINT OF BEGINNING. SAID PORTION FOUND IN QUIT CLAIM DEED RECORDED 06/28/1996 IN OFFICIAL RECORDS BOOK 3593, PAGE 1219.

TOGETHER WITH: THAT PORTION OF LOT 11, BLOCK 4, MADILL SUBDIVISION, AS RECORDED IN PLAT BOOK 5, PAGE 106 OF THE PUBLIC RECORDS OF PASCO COUNTY, FLORIDA, DESCRIBED AS FOLLOWS: COMMENCING AT THE NORTHWEST CORNER OF SAID LOT 11, RUN S 01°11’06” W, 110.00 FEET ALONG THE WEST LINE THEREOF FOR A POINT OF BEGINNING THENCE RUN S 89°09’45” E, 5.62 FEET THENCE S 56°04’39” E, 14.51 FEET TO A

OF LOTS 10 through 16, BLOCK 1, D.H. CLARKS ADDITION OF PORT RICHEY, according to the map or plat thereof, as recorded in Plat Book 5, at Page 99, of the Public Records of Pasco County, Florida. Property Address: 7914 US Highway 19, Port Richey, Florida 34668.

Any person claiming an interest in the surplus from the sale, if any, other than the property owner as of the date of the lis pendens must filed a claim in accordance with Florida Statutes, Section 45.031.

IMPORTANT

AMERICANS WITH DISABILITIES

ACT: If you are a person with a disability who needs an accommodation in order to participate in this proceeding, you are entitled, at no cost to you, to the provision of certain assistance. Please contact: Public Information Dept., Pasco County Government Center, 7530 Little Rd., New Port Richey, FL 34654; Phone: 727.847.8110 (voice) in New Port Richey, 352.521.4274, ext 8110 (voice) in Dade City, Or 711 for the hearing impaired. Contact should be initiated at least seven days before the scheduled court appearance, or immediately upon receiving this notification if the time before the scheduled appearance is less than seven days. The court does not provide transportation and cannot accommodate such requests. Persons with disabilities needing transportation to court should contact their local public transportation providers for information regarding transportation services. Respectfully submitted this 6th day of June 2024.. /s/ Omar A. Erchid Omar A. Erchid, Esq. omar@erchidlaw.com Florida Bar No. 1010955 June 14, 21, 2024 24-01075P

realforeclose.com, beginning at 11:00 AM on the 8th day of July, 2024, the following described property as set forth in said Final Judgment, to wit: LOT 18, TOWN AND COUNTRY VILLAS, ACCORDING TO THE MAP OR PLAT THEREOF, AS RECORDED IN PLAT BOOK 6, PAGE 9, PUBLIC RECORDS OF PASCO COUNTY, FLORIDA

TAX ID:

08-26-16-0180-00000-0180

Any person claiming an interest in the surplus from the sale, if any, other than the property owner as of the date of the lis pendens must file a claim before the clerk reports the surplus as unclaimed. If you are a person with a disability who needs any accommodation in order to participate in this proceeding, you are entitled, at no cost to you, to the provision of certain assistance. Please contact the Public Information Dept,. Pasco County Government Center, 7530 Little Rd., New Port Richey, FL 34654; (727) 847-8110 (V) in New Port Richey; (352) 521-4274, ext 8110 (V) in Dade City, at least 7 days before your scheduled court appearance, or immediately upon receiving this notification if the time before the scheduled appearance is less than 7 days; if you are hearing impaired call 711. The court does not provide transportation and cannot accommodate for this service. Persons with disabilities needing transportation to court should contact their local public transportation providers for information regarding transportation services.

Dated this 6th day of June, 2024.

BROCK & SCOTT, PLLC Attorney for Plaintiff 2001 NW 64th St, Suite 130 Ft. Lauderdale, FL 33309

Phone: (954) 618-6955, ext. 4766

Fax: (954) 618-6954

FLCourtDocs@brockandscott.com

By /s/Justin J. Kelley Justin J. Kelley, Esq. Florida Bar No. 32106

File # 19-F02676 June 14, 21, 2024 24-01044P

POINT ON THE SOUTH LINE OF SAID LOT 11 THENCE N 89°09’47” W, 17.82 FEET TO THE SOUTHWEST CORNER OF LOT 11 THENCE N 01°11’06” E, 7.92 FEET TO THE POINT OF BEGINNING. SAID PORTION FOUND IN QUIT CLAIM DEED RECORDED 06/27/1996 IN OFFICIAL RECORDS BOOK 3592, PAGE 877

Any person claiming an interest in the surplus from the sale, if any, other than the property owner as of the date of the lis pendens must file a claim before the clerk reports the surplus as unclaimed.

IMPORTANT

AMERICANS WITH DISABILITIES

ACT: If you are a person with a disability who needs an accommodation in order to participate in this proceeding, you are entitled, at no cost to you, to the provision of certain assistance.

Please contact: Public Information Dept., Pasco County Government Center, 7530 Little Rd., New Port Richey, FL 34654; Phone: 727.847.8110 (voice) in New Port Richey, 352.521.4274, ext

NOTICE OF SALE

PURSUANT TO CHAPTER 45 IN THE CIRCUIT COURT OF THE SIXTH JUDICIAL CIRCUIT IN AND FOR PASCO COUNTY, FLORIDA CIVIL ACTION CASE NO.: 2023CA004991CAAXES NATIONSTAR MORTGAGE LLC, Plaintiff, vs. THE UNKNOWN HEIRS, DEVISEES, GRANTEES, ASSIGNEES, LIENORS, CREDITORS, TRUSTEES, OR OTHER CLAIMANTS CLAIMING BY, THROUGH, UNDER, OR AGAINST, GRACE DUFFY AKA GRACE E. DUFFY AKA GRACE ELIZABETH DUFFY AKA GRACE STAPLES AKA GRACE E. STAPLES AKA GRACE ELIZABETH STAPLES, DECEASED, et al, Defendant(s). NOTICE IS HEREBY GIVEN Pursuant to a Final Judgment of Foreclosure dated May 23, 2024, and entered in Case No. 2023CA004991CAAXES of the Circuit Court of the Sixth Judicial Circuit in and for Pasco County, Florida in which Nationstar Mortgage LLC, is the Plaintiff and , The Unknown Heirs, Devisees, Grantees, Assignees, Lienors, Creditors, Trustees, or other Claimants claiming by, though, under, or against, Grace Duffy aka Grace E. Duffy aka Grace Elizabeth Duffy aka Grace Staples aka Grace E. Staples aka Grace Elizabeth Staples, deceased, David Lloyd Staples, Kenneth David Culp, Joshua Culp, are defendants, the Pasco County Clerk of the Circuit Court will sell to the highest and best bidder for cash in/on online at www.pasco.realforeclose.com, Pasco County, Florida at 11:00 am on the July 9, 2024 the following described property as set forth in said Final Judgment of Foreclosure: LOT 32, WESTWOOD VILLAGE, ACCORDING TO MAP OR PLAT

8110 (voice) in Dade City, Or 711 for the hearing impaired. Contact should be initiated at least seven days before the scheduled court appearance, or immediately upon receiving this notification if the time before the scheduled appearance is less than seven days. The court does not provide transportation and cannot accommodate such requests. Persons with disabilities needing transportation to court should contact their local public transportation providers for information regarding transportation services.

THEREOF AS RECORDED IN PLAT BOOK 28, PAGES 53-54 OF THE PUBLIC RECORDS OF PASCO COUNTY, FLORIDA. A/K/A 5437 GENEVIEVE CIR ZEPHYRHILLS FL 33542

Any person claiming an interest in the surplus from the sale, if any, other than the property owner

NOTICE OF SALE IN THE CIRCUIT CIVIL COURT OF THE SIXTH JUDICIAL CIRCUIT OF FLORIDA, IN AND FOR PASCO COUNTY CIVIL DIVISION Case No. 51-2022-CA-002253-ES

CROSSCOUNTRY MORTGAGE, LLC

Plaintiff, vs. UNKNOWN HEIRS, DEVISEES, GRANTEES, ASSIGNEES, LIENORS, CREDITORS, TRUSTEES, OF DAVID R. BEADLES A/K/A DAVID ROBERT BEADLES, DECEASED; CAROLYN L. BEADLES, AS KNOWN HEIR OF DAVID R. BEADLES A/K/A DAVID ROBERT BEADLES, DECEASED; BRIAN Z. BEADLES, AS KNOWN HEIR OF DAVID R. BEADLES A/K/A DAVID ROBERT BEADLES, DECEASED, LAKE DOROTHEA GROVE HOMEOWNERS ASSOCIATION, INC.; MV REALTY PBC, LLC; UNKNOWN SPOUSE OF CAROLYN L. BEADLES; UNKNOWN SPOUSE OF BRIAN Z. BEADLES, AND UNKNOWN TENANTS/OWNERS, Defendants.

Notice is hereby given, pursuant to Final Judgment of Foreclosure for Plaintiff entered in this cause on March 11, 2024, in the Circuit Court of Pasco County, Florida, Nikki Alvarez-Sowles, Esq., Clerk of the Circuit Court, will sell the property situated in Pasco County, Florida described as: LOT 40, LAKE DOROTHEA GROVE PLAT NO. 2, ACCORDING TO THE MAP OR PLAT THEREOF AS RECORDED IN PLAT BOOK 22, PAGE 20, OF THE PUBLIC RECORDS OF PASCO COUNTY, FLORIDA. and commonly known as: 8327 JACQUELINE CT, ZEPHYRHILLS, FL 33541; including the building, appurtenances, and fixtures located therein, at public sale, to the highest and best bidder, for cash, online at www.pasco. realforeclose.com, on July 9, 2024 at 11:00 A.M.. Any persons claiming an interest in the surplus from the sale, if any, other than the property owner as of the date of the lis pendens must file a claim before the clerk reports the surplus as unclaimed. If you are a person with a disability who needs any accommodation in order to participate in this proceeding, you are entitled, at no cost to you, to the provision of certain

37 JUNE 21 - JUNE 27, 2024 BusinessObserverFL.com
--- SALES ---
assistance. Please contact the Public Information Dept., Pasco County Government Center, 7530 Little Rd., New Port Richey, FL 34654; (727) 847-8110 (V) in New Port Richey; (352) 521-4274, ext 8110 (V) in Dade City, at least 7 days before your scheduled court appearance, or immediately upon receiving this notification if the time before the scheduled appearance is less than 7 days; if you are hearing impaired call 711. The court does not provide transportation and cannot accommodate for this service. Persons with disabilities needing transportation to court should contact their local public transportation providers for information regarding transportation services. Dated this June 5, 2024 By:/s/ David R. Byars David R. Byars Attorney for Plaintiff David R. Byars (813) 229-0900 x Kass Shuler, P.A. 1505 N. Florida Ave. Tampa, FL 33602-2613 ForeclosureService@kasslaw.com 320250/2218145/CMP June 14, 21, 2024 24-01045P
City or 711 for the hearing impaired. Contact should be initiated at least seven days before the scheduled court appearance, or immediately upon receiving this notification if the time before the scheduled appearance is less than seven days. The court does not provide transportation and cannot accommodate such requests. Persons with disabilities needing transportation to court should contact their local public transportation providers for information regarding transportation services. Dated this 29 day of May, 2024. ALBERTELLI LAW P. O. Box 23028 Tampa, FL 33623 Tel: (813) 221-4743 Fax: (813) 221-9171 eService: servealaw@albertellilaw.com By: /s/ Justin Swosinski Florida Bar #96533 Justin Swosinski, Esq. LR- /23-009956 June 14, 21, 2024 24-01071P
as of the date of the Lis Pendens must file a claim before the Clerk reports the surplus as unclaimed. If you are a person with a disability who needs an accommodation in order to participate in this proceeding, you are entitled, at no cost to you, to the provision of certain assistance. Please contact: Public Information Dept., Pasco County Government Center, 7530 Little Rd., New Port Richey, FL 34654 Phone: 727.847.8110 (voice) in New Port Richey or 352.521.4274, ext 8110 (voice) in Dade
Dated this 10 day of June, 2024. Zachary Ullman FBN: 106751 Primary E-Mail: ServiceMail@aldridgepite.com ALDRIDGE PITE, LLP Attorney for Plaintiff 5300 West Atlantic Avenue Suite 303 Delray Beach, FL 33484 Telephone: 561-392-6391 Facsimile: 561-392-6965 1468-1144B June 14, 21, 2024 24-01073P
SECOND INSERTION SECOND INSERTION SECOND INSERTION SECOND INSERTION SECOND INSERTION SECOND INSERTION SECOND INSERTION

NOTICE OF ACTION IN THE CIRCUIT COURT OF THE SIXTH JUDICIAL CIRCUIT IN AND FOR PASCO COUNTY, FLORIDA

CIVIL DIVISION CASE NO.: 2023CA005040CAAXWS

LAKEVIEW LOAN SERVICING, LLC

PLAINTIFF, VS. GABRIELLE ALYSSAMILLER AND STACEY JODAWN STOKES, ET AL., DEFENDANTS.

TO: Stacey JoDawn Stokes

Last Known Address: 401 Rosery Rd NE, Apt 111, Largo, FL 33770

Current Residence: UNKNOWN YOU ARE NOTIFIED that an action for Foreclosure of Mortgage on the following described property: LOT 1445, JASMINE LAKES UNIT 8-B, ACCORDING TO THE PLAT THEREOF AS RECORDED IN PLAT BOOK 15, PAGE 83, PUBLIC RECORDS OF

NOTICE OF FORECLOSURE SALE

PURSUANT TO CHAPTER 45 IN THE CIRCUIT COURT OF THE SIXTH JUDICIAL CIRCUIT IN AND FOR PASCO COUNTY, FLORIDA CASE NO.: 2023CA003443 CITIGROUP MORTGAGE LOAN TRUST INC. ASSET-BACKED PASS-THROUGH CERTIFICATES, SERIES 2007-AMC4, U.S. BANK NATIONAL ASSOCIATION, AS TRUSTEE, Plaintiff, VS. JOHN M. COWAN; BARBARA J. COWAN; HOMEOWNERS ASSOCIATION OF RIDGEWOOD UNIT TWO, INC.; ANY AND ALL UNKNOWN PARTIES CLAIMING BY, THROUGH, UNDER AND AGAINST THE HEREIN NAMED INDIVIDUAL DEFENDANT(S) WHO ARE NOT KNOWN TO BE DEAD OR ALIVE, WHETHER SAID UNKNOWN PARTIES MAY CLAIM AN INTEREST AS SPOUSES, HEIRS, DEVISEES, GRANTEES, OR OTHER CLAIMANTS Defendant(s). NOTICE IS HEREBY GIVEN that sale will be made pursuant to an Order or Final Judgment. Final Judgment was awarded on May 9, 2024 in Civil Case No. 2023CA003443, of the Circuit Court of the Judicial Circuit in and for Pasco County, Florida, wherein, CITIGROUP MORTGAGE LOAN TRUST INC. ASSET-BACKED PASSTHROUGH CERTIFICATES, SERIES

2007-AMC4, U.S. BANK NATIONAL ASSOCIATION, AS TRUSTEE is the Plaintiff, and JOHN M. COWAN; BARBARA J. COWAN; HOMEOWNERS ASSOCIATION OF RIDGEWOOD UNIT TWO, INC.; ANY AND ALL UNKNOWN PARTIES CLAIMING BY, THROUGH, UNDER AND AGAINST THE HEREIN NAMED INDIVIDUAL DEFENDANT(S) WHO ARE NOT KNOWN TO BE DEAD OR ALIVE, WHETHER SAID UNKNOWN PARTIES MAY CLAIM AN INTEREST AS SPOUSES, HEIRS, DEVISEES, GRANTEES, OR OTHER CLAIMANTS are Defendants. The Clerk of the Court, Nikki Alvarez-Sowles, Esq. will sell to the

NOTICE OF SALE IN THE CIRCUIT COURT OF THE SIXTH JUDICIAL CIRCUIT IN AND FOR PASCO COUNTY, FLORIDA CASE NO. 2023CA004235CAAXES

MIDFIRST BANK

Plaintiff, v. JASON E SHIPLEY; UNKNOWN

SPOUSE OF JASON E. SHIPLEY; UNKNOWN TENANT 1; UNKNOWN TENANT 2; LAKE

BERNADETTE COMMUNITY

ASSOCIATION, INC.; LAKE

BERNADETTE PROPERTY

OWNERS ASSOCIATION, INC.; UNITED STATES OF AMERICA, DEPARTMENT OF HOUSING AND URBAN DEVELOPMENT

Defendants.

Notice is hereby given that, pursuant to the Final Judgment of Foreclosure entered on March 06, 2024 and Order Rescheduling Foreclosure Sale entered on June 5, 2024, in this cause, in the Circuit Court of Pasco County, Florida, the office of Nikki Alvarez-Sowles, Esq. - AES, Clerk of the Circuit Court, shall sell the property situated in Pasco County, Florida, described as: LOT 645, LAKE BERNADETTE GARDENS, PHASE I, ACCORDING TO THE PLAT

THEREOF RECORDED IN PLAT BOOK 15, PAGE(S) 113 THROUGH 117, OF THE PUBLIC RECORDS OF PASCO COUNTY, FLORIDA.

a/k/a 35035 DOLPHIN LAKE DR, ZEPHYRHILLS, FL 335411978

INSERTION

PASCO COUNTY, FLORIDA. has been filed against you and you are required to serve a copy of your written defenses, if any, to it, on MILLER, GEORGE & SUGGS, PLLC, Attorney for Plaintiff, whose address is 210 N. University Drive, Suite 900, Coral Springs, FL 33071, on or before JULY 15TH, 2024, within or before a date at least thirty (30) days after the first publication of this Notice in the The Business Observer, 1970 Main Street, 3rd Floor, Sarasota, FL 34236 and file the original with the Clerk of this Court either before service on Plaintiffs attorney or immediately thereafter; otherwise a default will be entered against you for the relief demanded in the complaint If you are a person with a disability who needs any accommodation in order to participate in this proceeding, you are entitled, at no cost to you to the provision of certain assistance. Within two (2) working days of your receipt of this document please contact the Public In-

highest bidder for cash at www.pasco. realforeclose.com on August 7, 2024 at 11:00:00 AM EST the following described real property as set forth in said Final Judgment, to wit: LOT 51, RIDGEWOOD UNIT TWO, ACCORDING TO THE MAP OR PLAT THEREOF AS RECORDED IN PLAT BOOK 24, PAGE 136 & 137, PUBLIC RECORDS OF PASCO COUNTY, FLORIDA.

Any person claiming an interest in the surplus from the sale, if any, other than the property owner as of the date of the lis pendens must file a claim before the clerk reports the surplus as unclaimed. IMPORTANT AMERICANS WITH DISABILITIES

ACT: If you are a person with a disability who needs an accommodation in order to participate in this proceeding, you are entitled, at no cost to you, to the provision of certain assistance.

Please contact: Public Information Dept., Pasco County Government Center, 7530 Little Rd., New Port Richey, FL 34654; Phone: 727.847.8110 (voice) in New Port Richey, 352.521.4274, ext 8110 (voice) in Dade City, Or 711 for the hearing impaired. Contact should be initiated at least seven days before the scheduled court appearance, or immediately upon receiving this notification if the time before the scheduled appearance is less than seven days. The court does not provide transportation and cannot accommodate such requests. Persons with disabilities needing transportation to court should contact their local public transportation providers for information regarding transportation services.

Dated this 11 day of June 2024.

Zachary Ullman FBN: 106751 Primary E-Mail: ServiceMail@aldridgepite.com

ALDRIDGE PITE, LLP Attorney for Plaintiff 5300 West Atlantic Avenue Suite 303 Delray Beach, FL 33484 Telephone: 561-392-6391 Facsimile: 561-392-6965 1454-686B June 14, 21, 2024 24-01101P

at public sale, to the highest and best bidder, for cash, online at www.pasco. realforeclose.com, on July 08, 2024 beginning at 11:00 AM. Any person claiming an interest in the surplus from the sale, if any, other than the property owner as of the date of the lis pendens must file a claim before the clerk reports the surplus as unclaimed.

If you are a person with a disability who needs an accommodation in order to participate in this proceeding, you are entitled, at no cost to you, to the provision of certain assistance. Please contact: Public Information Dept., Pasco County Government Center, 7530 Little Rd., New Port Richey, FL 34654, Phone: 727.847.8110 (voice) in New Port Richey; 352.521.4274, ext 8110 (voice) in Dade City Or 711 for the hearing impaired. Contact should be initiated at least seven days before the scheduled court appearance, or immediately upon receiving this notification if the time before the scheduled appearance is less than seven days.

Dated at St. Petersburg, Florida this 6th day of June, 2024. Isabel López Rivera FL Bar: 1015906

eXL Legal, PLLC Designated Email Address: efiling@exllegal.com 12425 28th Street North, Suite 200

St. Petersburg, FL 33716

Telephone No. (727) 536-4911

Attorney for the Plaintiff 1000009332 June 14, 21, 2024 24-01076P

formation Dept., Pasco County Government Center, 7530 Little Rd., New Port Richey, FL 34654; (727) 847- 8110 (V) in New Port Richey; (352) 521-4274, ext. 8110 (V) in Dade City; via 1-800955-8771 if you are hearing impaired. The court does not provide transportation and cannot accommodate for this service. Persons with disabilities needing transportation to court should contact their local public transportation providers for information regarding disabled transportation services. WITNESS my hand and the seal of this Court this JUNE 11, 2024 NIKKI ALVAREZ-SOWLES, ESQ. As Clerk of Court (SEAL) Nikki Alvarez-Sowles Pasco County Clerk & Comptroller Deputy Clerk: Haley Joyner MILLER, GEORGE & SUGGS, PLLC Attorney for Plaintiff 210 N. University Drive, Suite 900 Coral Springs, FL 33071 June 14, 21, 2024 24-01095P

NOTICE OF ACTION IN THE CIRCUIT COURT OF THE SIXTH JUDICIAL CIRCUIT OF FLORIDA, IN AND FOR PASCO COUNTY CIVIL DIVISION Case No. 2024CA000372CAAXES

JIM GABLER and SHEILA GABLER Plaintiff, vs. CHRISTIANE MELUCCI, INDIVIDUALLY, CHRISTIANE MELUCCI, AS TRUSTEE OF THE CHRISTIANE MELUCCI

REVOCABLE TRUST

AGREEMENT, DA TED NOVEMBER 11, 2019, UNKNOWN BENEFICIARIES OF THE CHRISTIANE MELUCCI

REVOCABLE TRUST AGREEMENT, DA TED NOVEMBER 11, 2019, et al. Defendants.

TO: UNKNOWN BENEFICIARIES OF THE CHRISTIANE MELUCCI

REVOCABLE TRUST AGREEMENT, DATED NOVEMBER 11, 2019

CURRENT RESIDENCE UNKNOWN LAST KNOWN ADDRESS

UNKNOWN

You are notified that an action to foreclose a mortgage on the following property in Pasco County, Florida: TRACT 2314, UNIT 10 OF THE HIGHLANDS, AS PER PLAT THEREOF RECORDED IN PLAT BOOK 12, PAGES 121-138, PUBLIC RECORDS OF PASCO COUNTY, FLORIDA. commonly known as 16321 FISCUS DRIVE, SPRING HILL, FL 34610 has been filed against you and you are required to serve a copy of your written defenses, if any, to it on William Noriega of Kass Shuler, P.A., plaintiff’s attorney, whose address is P.O. Box 800, Tampa, Florida 33601, (813) 229-0900, on or before JULY 15, 2024, (or 30 days from the first date of publication,

NOTICE OF FORECLOSURE SALE

PURSUANT TO CHAPTER 45 IN THE CIRCUIT COURT OF THE SIXTH JUDICIAL CIRCUIT IN AND FOR PASCO COUNTY FLORIDA

CIRCUIT CIVIL DIVISION ASE NO.: 2018CA000597 WILMINGTON SAVINGS FUND SOCIETY, FSB, NOT IN ITS INDIVIDUAL CAPACITY BUT SOLELY AS TRUSTEE OF EFP CAPITAL TRUST, SERIES 2022-2, Plaintiff, v. CHRISTOPHER J CHESNEY, et al., Defendants. NOTICE OF SALE PURSUANT TO CHAPTER 45 IS HEREBY GIVEN that, pursuant to the Uniform Final Judgment of Mortgage Foreclosure dated June 7, 2024, issued in and for Pasco County, Florida, in Case No. 2018CA000597, wherein WILMINGTON SAVINGS FUND SOCIETY, FSB, NOT IN ITS INDIVIDUAL CAPACITY BUT SOLELY AS TRUSTEE OF EFP CAPITAL TRUST, SERIES 2022-2 is the Plaintiff, and CHRISTOPHER J CHESNEY, UNKNOWN SPOUSE OF CHRISTOPHER J. CHESNEY and UNKNOWN TENANT IN POSSESSION OF THE SUBJECT PROPERTY N/K/A CLAIRE VEGA are the Defendants. The Clerk of the Court, NIKKI ALVAREZ-SOWLES, will sell to the highest and best bidder for cash, in accordance with Section 45.031, Florida Statutes, on July 10, 2024, at electronic sale beginning at 11:00 AM, at www.pasco.realforeclose.com the following-described real property as set forth in said Uniform Final Judgment of Mortgage Foreclosure, to wit: LOT 756, ALOHA GARDENS, UNIT SEVEN, ACCORDING TO THE PLAT THEREOF, AS RECORDED IN PLAT BOOK

NOTICE OF ACTION IN THE CIRCUIT COURT OF THE 6TH JUDICIAL CIRCUIT, IN AND FOR PASCO COUNTY, FLORIDA CIVIL DIVISION CASE NO.: 51-2024-CA-001101-CAAX-WS PENNYMAC LOAN SERVICES, LLC, Plaintiff, vs. NEIL PRICE, et al.,, Defendants. TO: MARCI PRICE

3221 ROXBURY DR, HOLIDAY, FL 34691 UNKNOWN SPOUSE OF MARCI PRICE 3221 ROXBURY DR , HOLIDAY, FL 34691 YOU ARE NOTIFIED that an action for Foreclosure of Mortgage on the following described property: LOT 1554 AND THE WEST 5 FEET OF LOT 1553, HOLIDAY LAKE ESTATES, UNIT SEVENTEEN, ACCORDING TO

whichever is later) and file the original with the Clerk of this Court either before service on the Plaintiff’s attorney or immediately thereafter; otherwise, a default will be entered against you for the relief demanded in the Complaint.

AMERICANS WITH DISABILITY

ACT If you are a person with a disability who needs an accommodation in order to access court facilities or participate in a court proceeding, you are entitled, at no cost to you, to the provision of certain assistance. To request such an accommodation, please contact the Administrative Office of the Court as far in advance as possible, but preferably at least (7) days before your scheduled court appearance or other court activity of the date the service is needed: Complete the Request for Accommodations Form and submit to 800 E. Twiggs Street, Room 604 Tampa, FL 33602. Please review FAQ’s for answers to many questions. You may contact the Administrative Office of the Courts ADA Coordinator by letter, telephone or e-mail: Administrative Office of the Courts, Attention: ADA Coordinator, 800 E. Twiggs Street, Tampa, FL 33602, Phone: 813-272-7040, Hearing Impaired: 1-800-955-8771, Voice impaired: 1-800-955-8770, e-mail: ADA@fljud13.org.

Dated: June 10, 2024 CLERK OF THE COURT

Honorable Nikki Alvarez-Sowles, Esq. 38053 Live Oak Avenue Dade City, Florida 33523 (COURT SEAL) Nikki Alvarez-Sowles Pasco County Clerk & Comptroller Deputy Clerk: Haley Joyner William Noriega Kass Shuler, P.A., Plaintiff’s Attorney P.O. Box 800 Tampa, Florida 33601 (813) 229-0900 339296/2323507 /wlp June 14, 21, 2024 24-01079P

10, PAGES 132, 133 AND 134, PUBLIC RECORDS OF PASCO COUNTY, FLORIDA.

Property Address: 3303 Eisenhower Drive, Holiday, FL 34691 ANY PERSON CLAIMING AN INTEREST IN THE SURPLUS FROM THE SALE, IF ANY, OTHER THAN THE PROPERTY OWNER AS OF THE DATE OF THE LIS PENDENS MUST FILE A CLAIM BEFORE THE CLERK REPORTS THE SURPLUS AS UNCLAIMED. IMPORTANT

If you are a person with a disability who needs any accommodation in order to participate in this proceeding, you are entitled, at no cost to you, to the provision of certain assistance. Please contact either the Pasco County Customer Service Center, 8731 Citizens Drive, New Port Richey, FL 34654, (727) 8472411 (V) or the Pasco County Risk Management Office, 7536 State Street, New Port Richey, FL 34654, (727) 847-8028 (V) at least 7 days before your scheduled court appearance, or immediately upon receiving this notification if the time before the scheduled appearance is less than 7 days; if you are hearing or voice impaired, call 711.

Dated: This 10th day of June, 2024. Respectfully submitted, HOWARD LAW 4755 Technology Way, Suite 104 Boca Raton, FL 33431

Telephone: (954) 893-7874

Facsimile: (888) 235-0017

Designated Service E-Mail: Pleadings@HowardLaw.com

By: /s/ Matthew B. Klein

Matthew B. Klein, Esq.

Florida Bar No.: 73529

E-Mail: Matthew@HowardLaw.com June 14, 21, 2024 24-01078P

THE MAP OR PLAT THEREOF, AS RECORDED IN PLAT BOOK 11, PAGE 5, OF THE PUBLIC RECORDS OF PASCO COUNTY, FLORIDA. has been filed against you and you are required to serve a copy of your written defenses, if any, to it, on De Cubas & Lewis, P.A., Attorney for Plaintiff, whose address is PO Box 5026, Coral Springs, FL 33310 on or before 7/15/24, a date at least thirty (30) days after the first publication of this Notice in the (Please publish in BUSINESS OBSERVER) and file the original with the Clerk of this Court either before service on Plaintiff’s attorney or immediately thereafter; otherwise a default will be entered against you for the relief demanded in the complaint. If you are a person with a disability who needs an accommodation in order to participate in this proceeding, you are entitled, at no cost to you, to the provision of certain assistance. Please contact: Public Information Dept., Pasco County Government

(voice) in New Port Richey,

8110 (voice) in Dade City, Or 711 for the hearing impaired. Contact should be initiated at least seven days before the scheduled

NOTICE OF SALE IN THE COUNTY COURT OF THE SIXTH JUDICIAL CIRCUIT OF FLORIDA IN AND FOR PASCO COUNTY, FLORIDA CASE NO: 24-CC-820 THE ASSOCIATION OF CEDARWOOD VILLAGE CONDOMINIUM II, INC, a Florida not-for-profit corporation, Plaintiff, vs. ESTATE OF SARAH V. BRANDT, ANY AND ALL UNKNOWN HEIRS, SECRETARY OF HOUSING AND URBAN DEVELOPEMENT and ANY UNKNOWN OCCUPANTS IN POSSESSION, Defendants. NOTICE IS HEREBY GIVEN that, pursuant to the Summary Final Judgment in this cause, in the County Court of Pasco County, Florida, I will sell all the property situated in Pasco County, Florida described as: Unit 64, Phase III, CEDARWOOD VILLAGE CONDOMINIUM II, as per plat thereof, recorded in Condominium Plat Book 4, Pages 47-54, inclusive, together with an undivided percentage of interest or share in the common elements appurtenant thereto, in accordance with the covenants, conditions, restrictions, easements, terms and other provisions of the Declaration of Condominium as recorded in Official Records Book 1685, Pages 1084-1155, inclusive, of the Public Records of Pasco County, Florida; and all subsequent amendments thereto. With the following street address: 4707 Wallingford Court, New Port Richey, Florida, 34655. at public sale, to the highest and best

bidder, for cash, at www.pinellas. realforeclose.com, at 10:00 A.M. on July 11, 2024. Any person claiming an interest in the surplus from the sale, if any, must file a claim with the Clerk no later than the date that the Clerk reports the funds as unclaimed. If you are a person with a disability who needs any accommodation in order to participate in this proceeding, you are entitled, at no cost to you, to the provision of certain assistance. Please contact the Public Information Dept., Pasco County Government Center, 7530 Little Rd., New Port Richey, FL 34654; (727) 8478110 (V) in New Port Richey; (352) 521-4274, ext 8110 (V) in Dade City, at least 7 days before your scheduled court appearance, or immediately upon receiving this notification if the time before the scheduled appearance is less than 7 days; if you are hearing impaired call 711. The court does not provide transportation and cannot accommodate for this service. Persons with disabilities needing transportation to court should contact their local public transportation providers for information regarding transportation services. Dated this 7th day of June 2024. NIKKI ALVAREZ-SOWLES, ESQ. CLERK AND COMPTROLLER s/ Stephan C. Nikoloff Stephan C. Nikoloff (Steve@associationlawfl.com) Bar Number 56592 Attorney for Plaintiff Aberdeen Homeowners Association of Pasco, Inc. 1964 Bayshore Boulevard, Suite A Dunedin, Florida 34698 Telephone: (727) 738-1100 June 14, 21, 2024 24-01077P

NOTICE OF FORECLOSURE SALE IN THE CIRCUIT COURT OF THE SIXTH JUDICIAL CIRCUIT IN AND FOR PASCO COUNTY, FLORIDA GENERAL JURISDICTION DIVISION CASE NO. 51-2022-CA-001025ES U.S. BANK TRUST NATIONAL ASSOCIATION, NOT IN ITS INDIVIDUAL CAPACITY BUT SOLELY AS OWNER TRUSTEE FOR RCF 2 ACQUISITION TRUST C/O U.S. BANK TRUST NATIONAL ASSOCIATION, Plaintiff, vs. NORTH STATE BANK, et al. Defendant(s). NOTICE IS HEREBY GIVEN pursuant to a Final Judgment of Foreclosure dated November 17, 2023, and entered in 51-2022-CA-001025ES of the Circuit Court of the SIXTH Judicial Circuit in and for Pasco County, Florida, wherein U.S. BANK TRUST NATIONAL ASSOCIATION, NOT IN ITS INDIVIDUAL CAPACITY BUT SOLELY AS OWNER TRUSTEE FOR RCF 2 ACQUISITION TRUST C/O U.S. BANK TRUST NATIONAL ASSOCIATION is the Plaintiff and ERIC RODRIGUEZ A/K/A ERIC A RODRIGUEZ; MAPLE GLEN HOMEOWNERS ASSOCIATION, INC ; NORTH STATE BANK ; CALVARY SPV I LLC; JP MORGAN CHASE BANK, N.A. ; BANK OF AMERICA N.A. are the Defendant(s). Nikki Alvarez-Sowles, Esq. as the Clerk of the Circuit Court will sell to the highest and best bidder for cash at www.pasco. realforeclose.com, at 11:00 AM, on July 08, 2024, the following described property as set forth in said Final Judgment, to wit: LOT 8, OF MAPLE GLEN AT SEVEN OAKS. ACCORDING TO THE PLAT THEREOF, AS RECORDED IN PLAT BOOK 70, PAGE 13, OF THE PUBLIC RECORDS OF PASCO COUNTY, FLORIDA.

Property Address: 4681 WANDERING WAY, WESLEY CHAPEL, FL 33544

Any person claiming an interest in the surplus from the sale, if any, other than the property owner as of the date of the lis pendens must file a claim in accordance with Florida Statutes, Section 45.031. IMPORTANT AMERICANS WITH DISABILITIES ACT: If you are a person with a disability who needs an accommodation in order to participate in this proceeding, you are entitled, at no cost to you, to the

38 JUNE 21 - JUNE 27, 2024 BUSINESS OBSERVER PASCO COUNTY
provision of certain assistance. Please contact: Public Information Dept., Pasco County Government Center, 7530 Little Rd., New Port Richey, FL 34654; Phone: 727.847.8110 (voice) in New Port Richey, 352.521.4274, ext 8110 (voice) in Dade City, Or 711 for the hearing impaired. Contact should be initiated at least seven days before the scheduled court appearance, or immediately upon receiving this notification if the time before the scheduled appearance is less than seven days. The court does not provide transportation and cannot accommodate such requests. Persons with disabilities needing transportation to court should contact their local public transportation providers for information regarding transportation services. Dated this 7 day of June, 2024. By: \S\Danielle Salem Danielle Salem, Esquire Florida Bar No. 0058248 Communication Email: dsalem@raslg.com ROBERTSON, ANSCHUTZ & SCHNEID, P.L. Attorney for Plaintiff 6409 Congress Ave., Suite 100 Boca Raton, FL 33487 Telephone: 561-241-6901 Facsimile: 561-997-6909 Service Email: mail@rasflaw.com 22-005917 - NaC June 14, 21, 2024 24-01080P
--- ACTIONS / SALES ---
7530 Little Rd., New
34654; Phone:
court appearance, or immediately upon receiving this notification if the time before the scheduled appearance is less than seven days. The court does not provide transportation and cannot accommodate such requests. Persons with disabilities needing transportation to court should contact their local public transportation providers for information regarding transportation services. WITNESS my hand and the seal of this Court this 10 day of June, 2024. NIKKI ALVAREZ-SOWLES, ESQ As Clerk of the Court By: Melanie Gray As Deputy Clerk 24-01041 June 14, 21, 2024 24-01074P
Center,
Port Richey, FL
727.847.8110
352.521.4274, ext
SECOND
SECOND INSERTION SECOND INSERTION SECOND INSERTION SECOND
SECOND INSERTION SECOND INSERTION SECOND
INSERTION
INSERTION

SECOND INSERTION

NOTICE TO CREDITORS

IN THE CIRCUIT COURT FOR PASCO COUNTY, FLORIDA

PROBATE DIVISION

File No. 2024CP000525CPAXWS

IN RE: ESTATE OF MARY ANN TONEY

Deceased.

The administration of the estate of Mary Ann Toney, deceased, whose date of death was February 16, 2024, is pending in the Circuit Court for PASCO County, Florida, Probate Division, the address of which is 38053 Live Oak Avenue, Dade City, FL 33523-3805. The names and addresses of the personal representative and the personal representative’s attorney are set forth below. All creditors of the decedent and other persons having claims or demands against decedent’s estate on whom a copy of this notice is required to be served must file their claims with this court ON OR BEFORE THE LATER OF 3 MONTHS AFTER THE TIME OF THE FIRST PUBLICATION OF THIS NOTICE OR 30 DAYS AFTER THE DATE OF SERVICE OF A COPY OF THIS NOTICE ON THEM.

All other creditors of the decedent and other persons having claims or demands against decedent’s estate must file their claims with this court WITHIN 3 MONTHS AFTER THE DATE OF THE FIRST PUBLICATION OF THIS NOTICE. ALL CLAIMS NOT FILED WITHIN THE TIME PERIODS SET FORTH IN FLORIDA STATUTES SECTION 733.702 WILL BE FOREVER BARRED.

NOTWITHSTANDING THE TIME PERIODS SET FORTH ABOVE, ANY CLAIM FILED TWO (2) YEARS OR MORE AFTER THE DECEDENT’S DATE OF DEATH IS BARRED.

The date of first publication of this notice is June 14, 2024.

Personal Representative: Robert Toney

233 Blue Grass Avenue

Newport, Kentucky 41071

Attorney for Personal Representative: /s/ Amanda O. Singleton

Amanda Singleton

Attorney Florida Bar Number: 0015957

425 22nd Avenue N. Suite D SAINT PETERSBURG, FL 33704

Telephone: (727) 755-4316

Fax: (727) 234-8183

E-Mail: amanda@singletonlegal.com

June 14, 21, 2024 24-01048P

SECOND INSERTION NOTICE TO CREDITORS IN RE: ESTATE OF ROBERT GLENN PRATTEN TO ALL PERSONS HAVING CLAIMS OR DEMANDS AGAINST THE ABOVE ESTATE: You are hereby notified that a Trust estate is being administered. ROBERT GLENN PRATTEN, a resident of Pasco County, Florida, who died on May 21, 2024, was the settlor of a Trust titled: ROBERT GLENN PRATTEN TRUST AGREEMENT Declaration of Trust U/T/D December 13, 2013. The name and address of the Trustee are set forth below. ALL INTERESTED PERSONS ARE NOTIFIED THAT: All creditors of the decedent and other persons having claims or demands against decedent’s estate on whom a copy of this notice is required to be served must file their claims with the *Successor Trustee at the address listed below ON OR BEFORE THE LATER OF 3 MONTHS AFTER THE TIME OF THE FIRST PUBLICATION OF THIS NOTICE OR 30 DAYS AFTER THE DATE OF SERVICE OF A COPY OF THIS NOTICE ON THEM. All other creditors of the decedent and other persons having claims or demands against decedent’s estate must file their claims with this court WITHIN 3 MONTHS AFTER THE DATE OF THE FIRST PUBLICATION OF THIS NOTICE. ALL CLAIMS NOT FILED WITHIN THE TIME PERIODS HEREIN SET FORTH WILL BE FOREVER BARRED. NOTWITHSTANDING THE TIME PERIODS SET FORTH ABOVE, ANY CLAIM FILED TWO (2) YEARS OR MORE AFTER THE DECEDENT’S DATE OF DEATH ARE BARRED. The date of first publication of this Notice is April 14, 2023. Trustee:

MICHAEL JOHN PRATTEN, Trustee

4602 CR 673 BOX 16060 BUSHNELL FL 33513

Attorney for Trustee: Francis M. Lee, Attorney Florida Bar Number: 0642215

SPN 00591179

4551 Mainlands Boulevard, W., Suite F Pinellas Park, FL 33782

Telephone: (727) 576-1203

Fax: (727) 576-2161

E-Mail: Frank@FrankLeeLaw.com

Secondary E-Mail: Patricia@FrankLeeLaw.com April 14, 21, 2023 23-01098P

SECOND INSERTION

NOTICE TO CREDITORS IN THE CIRCUIT COURT FOR PASCO COUNTY, FLORIDA PROBATE DIVISION File No. 51-2024-CP-0424-WS IN RE: ESTATE OF HILDEGARD WATZINGER

Deceased. The administration of the estate of HILDEGARD WATZINGER, deceased, whose date of death was December 3, 2023, is pending in the Circuit Court for PASCO County, Florida, Probate Division, the address of which is 7530 Little Road, New Port Richey, FL 34654. The names and addresses of the personal representative and the personal representative’s attorney are set forth below.

All creditors of the decedent and other persons having claims or demands against decedent’s estate on whom a copy of this notice is required to be served must file their claims with this court ON OR BEFORE THE LATER OF 3 MONTHS AFTER THE TIME OF THE FIRST PUBLICATION OF THIS NOTICE OR 30 DAYS AFTER THE DATE OF SERVICE OF A COPY OF THIS NOTICE ON THEM.

All other creditors of the decedent and other persons having claims or demands against decedent’s estate must file their claims with this court WITHIN 3 MONTHS AFTER THE DATE OF THE FIRST PUBLICATION OF THIS NOTICE.

ALL CLAIMS NOT FILED WITHIN THE TIME PERIODS SET FORTH IN FLORIDA STATUTES SECTION 733.702 WILL BE FOREVER BARRED. NOTWITHSTANDING THE TIME PERIODS SET FORTH ABOVE, ANY CLAIM FILED TWO (2) YEARS OR MORE AFTER THE DECEDENT’S DATE OF DEATH IS BARRED.

The date of first publication of this notice is June 14, 2024. Personal Representative: KARIN HELLMAN a/k/a KARIN HELLMANNl 1718 Golfview Dr. Tarpon Springs, Florida 34689 Attorney for Personal Representative: DONALD R. PEYTON Attorney Florida Bar Number: 516619 7317 Little Road New Port Richey, FL 34654 Telephone: (727) 848-5997 Fax: (727) 848-4072 E-Mail: peytonlaw@yahoo.com

Secondary E-Mail: peytonlaw2@gmail.com June 14, 21, 2024 24-01047P

SECOND INSERTION NOTICE TO CREDITORS IN THE CIRCUIT COURT FOR PASCO COUNTY, FLORIDA PROBATE DIVISION File No. 2024-CP-964 IN RE: ESTATE OF KATHERINE SANTINI, aka KATHERINE LYNN SANTINI Deceased. The administration of the estate of KATHERINE SANTINI, also known as KATHERINE LYNN SANTINI, deceased, whose date of death was April 10, 2024, is pending in the Circuit Court for Pasco County, Florida, Probate Division, the address of which is P.O. Drawer 338, New Port Richey, FL 34656-0338. The names and addresses of the personal representative and the personal representative’s attorney are set forth below. All creditors of the decedent and other persons having claims or demands against decedent’s estate, on whom a copy of this notice is required to be served, must file their claims with this court ON OR BEFORE THE LATER OF 3 MONTHS AFTER THE TIME OF THE FIRST PUBLICATION OF THIS NOTICE OR 30 DAYS AFTER THE DATE OF SERVICE OF A COPY OF THIS NOTICE ON THEM. All other creditors of the decedent and other persons having claims or demands against decedent’s estate must file their claims with this court WITHIN 3 MONTHS AFTER THE DATE OF THE FIRST PUBLICATION OF THIS NOTICE.

ALL CLAIMS NOT FILED WITHIN THE TIME PERIODS SET FORTH IN FLORIDA STATUTES SECTION 733.702 WILL BE FOREVER BARRED NOTWITHSTANDING THE TIME PERIOD SET FORTH ABOVE, ANY CLAIM FILED TWO (2) YEARS OR MORE AFTER THE DECEDENT’S DATE OF DEATH IS BARRED.

The date of first publication of this notice is: June 14, 2024. Signed on this 4th day of June 2024. MARK RICHARD SANTINI Personal Representative 1914 Sheridan Road Buffalo Grove, IL 60089

Rebecca C. Bell

Attorney for Personal Representative

Florida Bar No. 0223440 Delzer, Coulter & Bell, P.A. 7920 U.S. Highway 19 Port Richey, FL 34668

Telephone: (727) 848-3404 Email: rebecca@delzercoulter.com June 14, 21, 2024 24-01100P

SECOND INSERTION

NOTICE TO CREDITORS IN THE CIRCUIT COURT FOR PASCO COUNTY, FLORIDA PROBATE DIVISION File No. 2023CP001892CPAXWS Division J IN RE: ESTATE OF JOSEPH R. CARDILLO Deceased.

The administration of the estate of Joseph R. Cardillo, deceased, whose date of death was November 5, 2023, is pending in the Circuit Court for Pasco County, Florida, Probate Division, the address of which is 7530 Little Rd., Suite 105, New Port Richey, Florida 34654. The names and addresses of the personal representative and the personal representative’s attorney are set forth below.

All creditors of the decedent and other persons having claims or demands against decedent’s estate on whom a copy of this notice is required to be served must file their claims with this court ON OR BEFORE THE LATER OF 3 MONTHS AFTER THE TIME OF THE FIRST PUBLICATION OF THIS NOTICE OR 30 DAYS AFTER THE DATE OF SERVICE OF A COPY OF THIS NOTICE ON THEM.

All other creditors of the decedent and other persons having claims or demands against decedent’s estate must file their claims with this court WITHIN 3 MONTHS AFTER THE DATE OF THE FIRST PUBLICATION OF THIS NOTICE.

ALL CLAIMS NOT FILED WITHIN THE TIME PERIODS SET FORTH IN FLORIDA STATUTES SECTION 733.702 WILL BE FOREVER BARRED. NOTWITHSTANDING THE TIME PERIODS SET FORTH ABOVE, ANY CLAIM FILED TWO (2) YEARS OR MORE AFTER THE DECEDENT’S DATE OF DEATH IS BARRED.

The date of first publication of this notice is June 14, 2024.

Personal Representative: Loretta C. Marshall 45 Leith Ln. Hilton, NY 14468

Attorney for Personal Representative: Kelly M. Forst, Esq.

Attorney Florida Bar Number: 1008235 FORST LAW FIRM, PLLC

800 Celebration Ave., Suite 225 Celebration, FL 34747

Telephone: (407) 566-9080

Fax: (800) 365-4815

E-Mail: kelly@kellyforstlaw.com

Secondary E-Mail: kbarnes@kellyforstlaw.com June 14, 21, 2024 24-01046P

SECOND INSERTION

NOTICE TO CREDITORS IN THE CIRCUIT COURT FOR PASCO COUNTY, FLORIDA PROBATE DIVISION

File No. 2024CP000892CPAXES IN RE: ESTATE OF ANITA KLAMO Deceased.

The administration of the estate of Anita Klamo, deceased, whose date of death was March 12, 2024, is pending in the Circuit Court for Pasco County, Florida, Probate Division, the address of which is 38053 Live Oak Avenue, Ste. 207, Dade City, FL 33523-3805. The name and address of the personal representative and the personal representative’s attorney is set forth below.

All creditors of the decedent and other persons having claims or demands against decedent’s estate on whom a copy of this notice is required to be served must file their claims with this court ON OR BEFORE THE LATER OF 3 MONTHS AFTER THE TIME OF THE FIRST PUBLICATION OF THIS NOTICE OR 30 DAYS AFTER THE DATE OF SERVICE OF A COPY OF THIS NOTICE ON THEM.

All other creditors of the decedent and other persons having claims or demands against decedent’s estate must file their claims with this court WITHIN 3 MONTHS AFTER THE DATE OF THE FIRST PUBLICATION OF THIS NOTICE.

ALL CLAIMS NOT FILED WITHIN THE TIME PERIODS SET FORTH IN FLORIDA STATUTES SECTION 733.702 WILL BE FOREVER BARRED. NOTWITHSTANDING THE TIME PERIODS SET FORTH ABOVE, ANY CLAIM FILED TWO (2) YEARS OR MORE AFTER THE DECEDENT’S DATE OF DEATH IS BARRED.

The date of first publication of this notice is June 14, 2024.

Tara Ann Spencer

Personal Representative 10115 Kingshyre Way Tampa, FL 33647

Myrna Serrano Setty, Esq.

Attorney for Petitioner

Florida Bar No. 110636

P.O. Box 145, Lutz, FL 33548

Telephone: (813) 902-3189

Fax: (813) 501-1405

E-Mail Addresses:

mss@serranosetty.com Alternate E-Mail: info@serranosetty.com June 14, 21, 2024 24-01082P

SECOND INSERTION

NOTICE TO CREDITORS IN THE CIRCUIT COURT FOR PASCO COUNTY, FLORIDA PROBATE DIVISION

File No. 2024 CP 000728CPAXES IN RE: ESTATE OF JAMES CLIFTON TIGUE, AKA JAMES C. TIGUE, AKA JAMES TIGUE Deceased.

The administration of the estate of JAMES CLIFTON TIGUE, AKA JAMES C. TIGUE, AKA JAMES TIGUE, deceased, whose date of death was April 8, 2024, is pending in the Circuit Court for Pasco County, Florida, Probate Division, the address of which is 7530 Little Road, Suite 105, New Port Richey, Florida 34654-5598. The names and addresses of the personal representative and the personal representative’s attorney are set forth below. All creditors of the decedent and other persons having claims or demands against decedent’s estate on whom a copy of this notice is required to be served must file their claims with this court ON OR BEFORE THE LATER OF 3 MONTHS AFTER THE TIME OF THE FIRST PUBLICATION OF THIS NOTICE OR 30 DAYS AFTER THE DATE OF SERVICE OF A COPY OF THIS NOTICE ON THEM.

All other creditors of the decedent and other persons having claims or demands against decedent’s estate must file their claims with this court WITHIN 3 MONTHS AFTER THE DATE OF THE FIRST PUBLICATION OF THIS NOTICE.

ALL CLAIMS NOT FILED WITHIN THE TIME PERIODS SET FORTH IN FLORIDA STATUTES SECTION 733.702 WILL BE FOREVER BARRED.

NOTWITHSTANDING THE TIME PERIODS SET FORTH ABOVE, ANY CLAIM FILED TWO (2) YEARS OR MORE AFTER THE DECEDENT’S DATE OF DEATH IS BARRED.

The date of first publication of this notice is June 14, 2024.

Personal Representative: Tamara L. Tigue 10166 Cross Timber Terrace Land O’Lakes, Florida 34638

Attorney for Personal Representative: ROBERT V. POTTER

Florida Bar Number: 0363006 Johnson, Pope, Bokor, Ruppel & Burns, LLP

311 Park Place Blvd, Ste. 300 Clearwater, Florida 33759

Telephone: (727) 461-1818

Fax: (727) 462-0365

E-Mail: bobp@jpfirm.com

Secondary E-Mail: ssigner@jpfirm.com June 14, 21, 2024 24-01081P

SECOND INSERTION NOTICE TO CREDITORS IN THE CIRCUIT COURT FOR PASCO COUNTY, FLORIDA PROBATE DIVISION Case Number: 24-CP-000805 IN RE: ESTATE OF Clayton Seltman Deceased.

The administration of the estate of Clayton Seltman, deceased, Case Number 24-CP-000805, is pending in the Circuit Court for Pasco County, Florida, Probate Division, the address of which is Nikki Alvarez-Sowles, Clerk of Court, P.O. Box 338, New Port Richey, FL 34656-0338. The names and addresses of the personal representative and the personal representative’s attorney are set forth below.

All creditors of the decedent and other persons having claims or demands against decedent’s estate on whom a copy of this notice has been served must file their claims with this Court ON OR BEFORE THE LATER OF 3 MONTHS AFTER THE DATE OF THE FIRST PUBLICATION OF THIS NOTICE OR 30 DAYS AFTER THE TIME OF SERVICE OF A COPY OF THIS NOTICE ON THEM.

All other creditors of the decedent and other persons having claims or demands against the decedent’s estate, must file their claims with this court WITHIN 3 MONTHS AFTER THE DATE OF THE FIRST PUBLICATION OF THIS NOTICE.

ALL CLAIMS NOT SO FILED WITHIN THE TIME PERIODS SET FORTH IN SECTION 733.702 OF THE FLORIDA PROBATE CODE WILL BE FOREVER BARRED. NOTWITHSTANDING THE TIME PERIODS SET FORTH ABOVE, ANY CLAIM FILED TWO (2) YEARS OR MORE AFTER THE DECEDENT’S DATE OF DEATH IS BARRED.

The date of first publication of this notice is June 14, 2024. Karen Marie Seltman

Personal Representative Address: 5103 Tilson Drive, New Port Richey, FL 34652

MICHAEL H. WILLISON, P.A.

Michael H. Willison, Esquire 114 S. Lake Avenue Lakeland, Florida 33801 (863) 687-0567

Florida Bar No. 382787

mwillison@mwillison.com Attorney for Personal Representative June 14, 21, 2024 24-01083P

SECOND INSERTION

NOTICE OF SALE IN THE COUNTY COURT FOR PASCO COUNTY, FLORIDA Case No. 2022-CA-2308 ALLSTATE SERVICING, INC., Plaintiff, vs. ERIS HARMONIA, LLC.

Defendant. NOTICE IS HEREBY GIVEN that, pursuant to the Order dated May 23, 2024, the Clerk will sell to the highest and best bidder for cash, in Pasco County, Florida, in accordance with Section 45.031, Florida Statutes, by electronic sale beginning at 11 :00 a.m. on July 10, 2024, at www.PASCO.realforeclose. com, the following described property: Lot 32, GULF HARBORS SEA FOREST UNIT 2B according to the plat thereof, recorded in Plat Book 23, Page 47 of the Public Records of Pasco County, Florida. Property Address: 6121 Bayside Drive, New Port Richey, FL 34652 IF YOU ARE A SUBORDINATE LIENHOLDER CLAIMING A RIGHT TO FUNDS REMAINING AFTER THE SALE, IF ANY, YOU MUST FILE A CLAIM WITH THE CLERK NO LATER THAN THE DATE THAT THE CLERK REPORTS THE FUNDS AS UNCLAIMED. IF YOU FAIL TO FILE A TIMELY CLAIM, YOU WILL NOT BE ENTITLED TO ANY REMAINING FUNDS.

If you are a person with a disability who needs any accommodation in order to participate in this proceeding, you are entitled, at no cost to you, to the provision of certain assistance. Please contact the Public Information Dept., Pasco County Government Center, 7530 Little Rd., New Port Richey, FL 34654; (727) 847-8110 (V) in New Port Richey; (352) 521-4274, ext 8110 (V) in Dade City, at least 7 days before your scheduled court appearance, or immediately upon receiving this notification if the time before the scheduled appearance is less than 7 days; if you are hearing impaired call 711. The court does not provide transportation and cannot accommodate for this service. Persons with disabilities needing transportation to court should contact their local public transportation providers for information regarding transportation services.

DATED June 12, 2024. CHARLES RUSE, JR. For The Court By: /s/ Charles Ruse CHARLES RUSE, JR. Attorney for Plaintiff 500 N. E. 8th Avenue Ocala, Florida 34470 June 14, 21, 2024 24-01102P

SECOND INSERTION NOTICE TO CREDITORS (summary administration) IN THE CIRCUIT COURT FOR PASCO COUNTY, FLORIDA PROBATE DIVISION File No. 2024-CP-000956 IN RE: ESTATE OF MARCIA L. FOX Deceased. TO ALL PERSONS HAVING CLAIMS OR DEMANDS AGAINST THE ABOVE ESTATE: You are hereby notified that an Order of Summary Administration has been entered in the estate of Marcia L. Fox, deceased, by the Circuit Court for Pasco County, Florida, Probate Division, the address of which is 7530 Little Road, New Port Richey, Florida 34654; that the decedent’s date of death was February 6, 2024; that the total value of the estate is $6,082.07 and that the names and addresses of those to whom it has been assigned by such order are:

NAME ADDRESS David A. Hook as successor trustee for the “Harry L. Fox and Marcia L. Fox Revocable Trust Agreement” dated October 1, 2014 4918 Floramar Terrace New Port Richey, FL 34652 ALL INTERESTED PERSONS ARE NOTIFIED THAT: All creditors of the estate of the decedent and persons having claims or demands against the estate of the decedent other than those for whom provision for full payment was made in the Order of Summary Administration must file their claims with this court WITHIN THE TIME PERIODS SET FORTH IN FLORIDA STATUTES SECTION 733.702. ALL CLAIMS AND DEMANDS NOT SO FILED WILL BE FOREVER BARRED. NOTWITHSTANDING ANY OTHER APPLICABLE TIME PERIOD, ANY CLAIM FILED TWO (2) YEARS OR MORE AFTER THE DECEDENT’S DATE OF DEATH IS BARRED.

The date of first publication of this Notice is June 14, 2024. Attorney/ Person Giving Notice: David A. Hook, Esq. E-mail Addresses: courtservice@elderlawcenter.com, samantha@elderlawcenter.com

Florida Bar No. 0013549

The Hook Law Group, P.A. 4918 Floramar

SECOND INSERTION

NOTICE OF PUBLIC SALE

Notice is hereby given that on 07/05/2024 at 10:30 a.m., the following property will be sold at public auction pursuant to F.S. 715.109: A 2021 CHAM mobile home bearing vehicle identification numbers FL26100PHA103486A and FL26100PHA103486B and all personal items located inside the mobile home. Last Tenant: James Michael Chinn Jr. Sale to be held at: Shadow Wood Village, 14709 Shadowwood Boulevard, Hudson, Florida 34667 (727)-862-2434. June 14, 21, 2024 24-01090P

HOW TO PUBLISH YOUR LEGAL NOTICE IN THE BUSINESS OBSERVER CALL 941-906-9386 and select the appropriate County name from the menu option OR E-MAIL: legal@businessobserverfl.com

39 JUNE 21 - JUNE 27, 2024 BusinessObserverFL.com
SECOND INSERTION Notice of Application for Tax Deed 2023XX000288TDAXXX NOTICE IS HEREBY GIVEN, That MARK H FINK, the holder of the following certificates has filed said certificate for a tax deed to be issued thereon. The certificate number and year of issuance, the description of property, and the names in which it was assessed are as follows: Certificate #: 1500838 Year of Issuance: 06/01/2016 Description of Property: 27-24-21-0460-02400-0040 BLK 24 SUMNR AD DB 10 P 197 S 6 FT OF LOT 1, LOTS 4, 5 Name(s) in which assessed: EST OF JOHN FOY JONES PER REP LEONA JONES LEONA JONES YOLANDA JONES JAMES BOBBY E JONES JEWELL SANDIFER JEWELL JONES FOY GLENN JONES SANDRA F JONES ELDRIDGE JONES DONALD JONES KENNETH D JONES VICTOR K JONES LOLITA JONES JORDAN ROSEMARY KENNEDY DEBORAH LOONEY DEBORAH BROWN CONTANCE WINFIELD BRENDA WARE VERONICA Y MEANS VANESSA Y MEANS CARLA A MEANS LENETTA THOMAS BILL HANNON TRACEY HANNON DERRICK HANNON BRANDON HANNON All of said property being in the County of Pasco, State of Florida Unless such certificate shall be redeemed according to the law, the property described in such certificate shall be sold to the highest bidder online at http://pasco.realtaxdeed.com, on July 18, 2024 at 10:00 am. May 31, 2024 Office of Nikki Alvarez-Sowles, Esq. Pasco County Clerk & Comptroller By: Denisse Diaz Deputy Clerk June 14, 21, 28; July 5, 2024 24-01069P SECOND INSERTION Notice of Application for Tax Deed 2023XX000268TDAXXX NOTICE IS HEREBY GIVEN, That JOHN WATERS, the holder of the following certificates has filed said certificate for a tax deed to be issued thereon. The certificate number and year of issuance, the description of property, and the names in which it was assessed are as follows: Certificate #: 1700880 Year of Issuance: 06/01/2018
of Property: 27-24-21-0460-01800-0080
C SUMNERS ADDITION PB 10 PG 197 EAST 1/2 OF SE1/4 OF BLOCK 18 OR 5155 PG 1735
in which assessed:
on July 18, 2024 at 10:00 am. May 31, 2024 Office of Nikki Alvarez-Sowles, Esq. Pasco County Clerk & Comptroller By: Denisse Diaz Deputy Clerk June 14, 21, 28; July 5, 2024 24-01061P --- TAX DEEDS ----- ESTATE ---
PASCO COUNTY
Description
W
Name(s)
JAMES E BUTLER JR SHIRLEY ANN BUTLER All of said property being in the County of Pasco, State of Florida Unless such certificate shall be redeemed according to the law, the property described in such certificate shall be sold to the highest bidder online at http://pasco.realtaxdeed.com,
Terrace New Port Richey, Florida 34652 June 14, 21, 2024 24-01097P
--- PUBLIC SALES ---
LV10160

SECOND INSERTION

Notice of Application for Tax Deed

2023XX000260TDAXXX

NOTICE IS HEREBY GIVEN,

That RAJENDRA INC, the holder of the following certificates has filed said certificate for a tax deed to be issued thereon. The certificate number and year of issuance, the description of property, and the names in which it was assessed are as follows:

Certificate #: 1705671

Year of Issuance: 06/01/2018

Description of Property: 09-25-17-0020-00500-0050

MOON

LOTS

Name(s) in which assessed:

CLARENCE SCHULTZ

All

DONALD SCHULTZ

SECOND INSERTION

Notice of Application for Tax Deed 2023XX000265TDAXXX

NOTICE IS HEREBY GIVEN, That IL IRA INVESTMENTS LLC, the holder of the following certificates has filed said certificate for a tax deed to be issued thereon. The certificate number and year of issuance, the description of property, and the names in which it was assessed are as follows:

Certificate #: 1902127 Year of Issuance: 06/01/2020

Description of Property: 14-26-21-029A-00000-0600

ADVERSE POSSESSION FILED: WINTERS SUB 4TH ADD B 10 P 119 LOT 60 RB 987 PG 1080

Name(s) in which assessed: MARGUERITE HOWARD FRED HOWARD

All of said property being in the County of Pasco, State of Florida Unless such certificate shall be redeemed according to the law, the property described in such certificate shall be sold to the highest bidder online at http://pasco.realtaxdeed.com, on July 18, 2024 at 10:00 am. May 31, 2024

Office of Nikki Alvarez-Sowles, Esq. Pasco County Clerk & Comptroller By: Denisse Diaz Deputy Clerk

June 14, 21, 28; July 5, 2024 24-01058P

SECOND INSERTION

Notice of Application for Tax Deed 2023XX000257TDAXXX

NOTICE IS HEREBY GIVEN, That THOMAS LLOYD IV, the holder of the following certificates has filed said certificate for a tax deed to be issued thereon. The certificate number and year of issuance, the description of property, and the names in which it was assessed are as follows: Certificate #: 1910834 Year of Issuance: 06/01/2020 Description of Property: 18-26-16-0040-01200-0050 TAMPA-TARPON SPRINGS

FT TH S00DG 23’

26”W ALG WLY R/W LN OF MARY ANN DR 195.50 FT TO POB AKA SIGN PARCEL OR 668 PG 731 OR 687 PG 152

Name(s) in which assessed: BARNETT BANK OF PASCO COUNTY PEOPLE STATE BANK OF NEW PORT RICHEY

All of said property being in the County of Pasco, State of Florida Unless such certificate shall be redeemed according to the law, the property described in such certificate shall be sold to the highest bidder online at http://pasco.realtaxdeed.com, on July 18, 2024 at 10:00 am. May 31, 2024 Office of Nikki Alvarez-Sowles, Esq. Pasco County Clerk & Comptroller By: Denisse Diaz Deputy Clerk June 14, 21, 28; July 5, 2024 24-01051P

SECOND INSERTION

Notice of Application for Tax Deed

2023XX000287TDAXXX

NOTICE IS HEREBY GIVEN, That CAROL A OR ROGER A RASHID, the holder of the following certificates has filed said certificate for a tax deed to be issued thereon. The certificate number and year of issuance, the description of property, and the names in which it was assessed are as follows: Certificate #: 1901894 Year of Issuance: 06/01/2020 Description of Property:

11-26-21-0010-06600-0050 CITY OF ZEPHYRHILLS PB 1 PG 54 LOTS 5 & 6 BLOCK 66 OR 9408 PG 2424

Name(s) in which assessed: MANUEL VASQUEZ

MICHELLE N HOLLEY

All of said property being in the County of Pasco, State of Florida Unless such certificate shall be redeemed according to the law, the property described in such certificate shall be sold to the highest bidder online at http://pasco.realtaxdeed.com, on July 18, 2024 at 10:00 am. May 31, 2024

Office of Nikki Alvarez-Sowles, Esq. Pasco County Clerk & Comptroller By: Denisse Diaz Deputy Clerk June 14, 21, 28; July 5, 2024 24-01068P

SECOND INSERTION

Notice of Application for Tax Deed 2023XX000263TDAXXX

NOTICE IS HEREBY GIVEN, That ADVIXIO OPPORTUNITY

FUND I LLC, the holder of the following certificates has filed said certificate for a tax deed to be issued thereon. The certificate number and year of issuance, the description of property, and the names in which it was assessed are as follows:

Certificate #: 1705629

Year of Issuance: 06/01/2018

Description of Property:

09-25-17-0010-00I00-0710

MOON LAKE ESTATES UNIT

1 PB 4 PGS 72-73 LOTS 71 & 72

BLOCK I OR 2083 PG 1833

Name(s) in which assessed:

RICHARD B REECE

ROSE REECE

All of said property being in the County of Pasco, State of Florida

Unless such certificate shall be redeemed according to the law, the property described in such certificate shall be sold to the highest bidder online at http://pasco.realtaxdeed.com, on July 18, 2024 at 10:00 am.

May 31, 2024

Office of Nikki Alvarez-Sowles, Esq.

Pasco County Clerk & Comptroller

By: Denisse Diaz Deputy Clerk

June 14, 21, 28; July 5, 2024 24-01056P

SECOND INSERTION

Notice of Application for Tax Deed 2023XX000264TDAXXX NOTICE IS HEREBY GIVEN, That IL IRA INVESTMENTS LLC, the holder of the following certificates has filed said certificate for a tax deed to be issued thereon. The certificate number and year of issuance, the description of property, and the names in which it was assessed are as follows:

Certificate #: 1903603 Year of Issuance: 06/01/2020 Description of Property: 11-26-19-0010-00000-0860 ANGUS VALLEY UNIT 1 UNRECORDED PLAT LOT 86 DESC AS BEG AT THE NW COR OF SECTION 11 TH EAST (ASSUMED BERING) 4439.88 FT TH SOUTH 337.96 FT TH S87DEG 16’ 36”E 13.80 FT TH SOUTH 369.01 FT FOR POB TH N89DEG44’ 15”E 186.21 FT TH SOUTH 322.21 FT TH S00DEG 14’14”E 30.00 FT TH S89DEG

45’46”W 203.00 FT TH N00DEG

14’14”W 30.00 FT TH NORTH 322.12 FT TH N89DEG44’ 15”E 16.79 FT TO POB RESERVING SOUTHERN 30.00 FT FOR ROADRIGHT-OF-WAY OR 9404 PG 3114

Name(s) in which assessed: SRINIVASULU KANDUKURU REGISTERED AGENT ARKA HOMES LLC

All of said property being in the County of Pasco, State of Florida Unless such certificate shall be redeemed according to the law, the property described in such certificate shall be sold to the highest bidder online at http://pasco.realtaxdeed.com, on July 18, 2024 at 10:00 am. May 31, 2024

Office of Nikki Alvarez-Sowles, Esq. Pasco County Clerk & Comptroller By: Denisse Diaz Deputy Clerk June 14, 21, 28; July 5, 2024 24-01057P

SECOND INSERTION

Notice of Application for Tax Deed 2023XX000275TDAXXX NOTICE IS HEREBY GIVEN, That CAROL A OR ROGER A RASHID, the holder of the following certificates has filed said certificate for a tax deed to be issued thereon. The certificate number and year of issuance, the description of property, and the names in which it was assessed are as follows: Certificate #: 1601141 Year of Issuance: 06/01/2017

Description of Property: 34-24-16-0060-00000-0490 FLORESTATE PARK UNIT #1 PB 7 PG 10 LOT 49 & WEST 1/2 LOT 50 OR 5297 PG 1337

Name(s) in which assessed: MICHAEL P DONNELLY

All of said property being in the County of Pasco, State of Florida Unless such certificate shall be redeemed according to the law, the property described in such certificate shall be sold to the highest bidder online at http://pasco.realtaxdeed.com, on July 18, 2024 at 10:00 am. May 31, 2024 Office of Nikki Alvarez-Sowles, Esq. Pasco County Clerk & Comptroller By: Denisse Diaz Deputy Clerk June 14, 21, 28; July 5, 2024 24-01067P

SECOND INSERTION

Notice of Application for Tax Deed 2023XX000259TDAXXX NOTICE IS HEREBY GIVEN, That RAJENDRA GUPTA/SHILA, the holder of the following certificates has filed said certificate for a tax deed to be issued thereon. The certificate number and year of issuance, the description of property, and the names in which it was assessed are as follows:

Certificate #: 1906365

Year of Issuance: 06/01/2020

Description of Property:

21-25-17-0130-22200-0730

MOON LAKE ESTATES UNIT

13 PB 6 PGS 6-8 LOTS 73 & 74

BLOCK 222 OR 1993 PG 1770 & OR 1993 PG 1769

Name(s) in which assessed:

LEDA HAMILTON

ESTATE OF LEDA PURVIS

LEDIA PURVIS DECEASED

All of said property being in the County of Pasco, State of Florida

Unless such certificate shall be redeemed according to the law, the property described in such certificate shall be sold to the highest bidder online at http://pasco.realtaxdeed.com, on July 18, 2024 at 10:00 am.

May 31, 2024

Office of Nikki Alvarez-Sowles, Esq.

Pasco County Clerk & Comptroller By: Denisse Diaz Deputy Clerk

June 14, 21, 28; July 5, 2024 24-01053P

SECOND INSERTION

Notice of Application for Tax Deed 2023XX000270TDAXXX

NOTICE IS HEREBY GIVEN, That IL IRA INVESTMENTS LLC, the holder of the following certificates has filed said certificate for a tax deed to be issued thereon. The certificate number and year of issuance, the description of property, and the names in which it was assessed are as follows:

Certificate #: 1904633

Year of Issuance: 06/01/2020

Description of Property: 14-26-18-0000-01400-0031

COM AT SW COR OF NW1/4 OF SW1/4 OF SEC 14 TH N00DG 15’ 17”W 207.90 FT ALG WEST

LINE OF SAID NW1/4 OF SW1/4 FOR POB TH CONT N00DG 15’ 17”W 207.90 FT TH S89DG 47’ 59”E 894.05 FT TO WLY R/W

MITCHELL RD TH S01DG 51’

47”W 208.00 FT ALG SAID WLY R/W TH N89DG 47’ 59”W 886.37

FT TO POB & LESS POR DESC IN MB 4 PG 208

Name(s) in which assessed:

SCUDERIA DEVELOPMENT

LLC

ARTURO UZDAVINIS

REGISTERED AGENT

FIORANO DEVELOPMENT INC

DAVID P RANKIN

REGISTERED AGENT

All of said property being in the County of Pasco, State of Florida

Unless such certificate shall be redeemed according to the law, the property described in such certificate shall be sold to the highest bidder online at http://pasco.realtaxdeed.com, on July 18, 2024 at 10:00 am. May 31, 2024

Office of Nikki Alvarez-Sowles, Esq. Pasco County Clerk & Comptroller

By: Denisse Diaz Deputy Clerk

June 14, 21, 28; July 5, 2024 24-01063P

SECOND INSERTION

Notice of Application for Tax Deed 2023XX000271TDAXXX

NOTICE IS HEREBY GIVEN, That IL IRA INVESTMENTS LLC, the holder of the following certificates has filed said certificate for a tax deed to be issued thereon. The certificate number and year of issuance, the description of property, and the names in which it was assessed are as follows:

Certificate #: 1907967

Year of Issuance: 06/01/2020

Description of Property:

04-25-16-0100-00000-0170

LEISURE BEACH UNIT 6 PB 16

PG 50 LOT 17 OR 5070 PG 1155

Name(s) in which assessed:

GEORGE LAWRENCE

BRINKMAN DECEASED

KATHERINE ANN BRINKMAN

All of said property being in the County of Pasco, State of Florida

Unless such certificate shall be redeemed according to the law, the property described in such certificate shall be sold to the highest bidder online at http://pasco.realtaxdeed.com, on July 18, 2024 at 10:00 am. May 31, 2024 Office of Nikki Alvarez-Sowles, Esq. Pasco County Clerk & Comptroller By: Denisse Diaz Deputy Clerk June 14, 21, 28; July 5, 2024 24-01064P

SECOND INSERTION

Notice of Application for Tax Deed

2023XX000256TDAXXX

NOTICE IS HEREBY GIVEN, That THOMAS LLOYD IV, the holder of the following certificates has filed said certificate for a tax deed to be issued thereon. The certificate number and year of issuance, the description of property, and the names in which it was assessed are as follows:

Certificate #: 1600147

Year of Issuance: 06/01/2017

Description of Property: 25-26-15-0010-02900-0000

TAMPA TARPON SPRINGS LAND COMPANY PB 1 PGS 68 & 69 THAT PART OF TRACT 29 LYING NORTH OF LOTS 1551 THRU 1563 INCL ALOHA GARDENS UNIT TWELVE PB 17 PGS 81 THRU 83 INCL OR 210 PG 517 OR 313 PG 778

Name(s) in which assessed: B L MICKLER ESTATE OF B L MICKLER BART LELAND MICKLER BARTLEY L MICKLER

All of said property being in the County of Pasco, State of Florida

Unless such certificate shall be redeemed according to the law, the property described in such certificate shall be sold to the highest bidder online at http://pasco.realtaxdeed.com, on July 18, 2024 at 10:00 am. May 31, 2024

Office of Nikki Alvarez-Sowles, Esq. Pasco County Clerk & Comptroller By: Denisse Diaz Deputy Clerk

June 14, 21, 28; July 5, 2024 24-01050P

SECOND INSERTION

Notice of Application for Tax Deed 2023XX000258TDAXXX NOTICE IS HEREBY GIVEN, That THOMAS LLOYD IV, the holder of the following certificates has filed said certificate for a tax deed to be issued thereon. The certificate number and year of issuance, the description of property, and the names in which it was assessed are as follows: Certificate #: 1912333 Year of Issuance: 06/01/2020 Description of Property: 36-26-15-0010-03600-0000 TAMPA-TARPON SPRINGS LAND COMPANY PB 1 PGS 6870 THAT PART OF TRACTS 36, 41 & 44 LYING NORTH OF HOLIDAY LAKE ESTATES UNITS 1A, 3A, & 3 EXC PORTION DESC AS COM AT MOST SLY COR OF LOT 411 HOLIDAY LAKE ESTATES UNIT 1 FOR POB TH N26DEG46’ 37”E 140.00 FT TH S89DEG43’ 46”E 43.78 FT TH S00DEG16’ 14”W 200.11 FT TH N62DEG02’ 59”W .40 TH 130.07 FT ALG ARC OF CURVE TO LEFT RAD 430.00 FT CHD BRG N54DEG 33’ 27”W 129.57 FT TO POB OR 7904 PG 263

Name(s) in which assessed: SAM BELSITO

All of said property being in the County of Pasco, State of Florida Unless such certificate shall be redeemed according to the law, the property described in such certificate shall be sold to the highest bidder online at http://pasco.realtaxdeed.com, on July 18, 2024 at 10:00 am. May 31, 2024 Office of Nikki Alvarez-Sowles, Esq. Pasco County Clerk & Comptroller By: Denisse Diaz Deputy Clerk June 14, 21, 28; July 5, 2024 24-01052P

SECOND INSERTION

Notice of Application for Tax Deed 2023XX000269TDAXXX NOTICE IS HEREBY GIVEN, That IL IRA INVESTMENTS LLC, the holder of the following certificates has filed said certificate for a tax deed to be issued thereon. The certificate number and year of issuance, the description of property, and the names in which it was assessed are as follows:

Certificate #: 1908064

Year of Issuance: 06/01/2020

Description of Property: 10-25-16-0040-00000-0050

JOHNSON HEIGHTS UNIT 1 PB 8 PG 23 LOT 5 OR 9657 PG 2755(TS)

Name(s) in which assessed: CHRISTOPHER L HANKINS

All of said property being in the County of Pasco, State of Florida

Unless such certificate shall be redeemed according to the law, the property described in such certificate shall be sold to the highest bidder online at http://pasco.realtaxdeed.com, on July 18, 2024 at 10:00 am. May 31, 2024

Office of Nikki Alvarez-Sowles, Esq. Pasco County Clerk & Comptroller By: Denisse Diaz Deputy Clerk June 14, 21, 28; July 5, 2024 24-01062P

SECOND INSERTION

Notice of Application for Tax Deed 2023XX000267TDAXXX

NOTICE IS HEREBY GIVEN, That LEIGHTON DOUGLAS, the holder of the following certificates has filed said certificate for a tax deed to be issued thereon. The certificate number and year of issuance, the description of property, and the names in which it was assessed are as follows: Certificate #: 1506661

Year of Issuance: 06/01/2016

Description of Property: 22-25-17-0020-00000-4000 MOON LAKE ESTATES UNRECORDED PLAT TRACT 400 DESC AS COM INTERSECTION OF CENTER LINE OF EVERGREEN ST & NORTH R/W OF R/O VISTA AVE PER PB 6 PG 47 MOON LAKE EST. UNIT 14 REPLAT TH N89DEG14’25”W 200.00 FT FOR POB TH N89DEG14’25”W 200.00 FT TH NORTH 556.92 FT TH EAST 199.97 FT TH SOUTH 560.39 FT TO POB OR 7648 PG 1276

Name(s) in which assessed: JERRY FOWLER

All of said property being in the County of Pasco, State of Florida Unless such certificate shall be redeemed according to the law, the property described in such certificate shall be sold to the highest bidder online at http://pasco.realtaxdeed.com, on July 18, 2024 at 10:00 am. May 31, 2024 Office of Nikki Alvarez-Sowles, Esq. Pasco County Clerk & Comptroller By: Denisse Diaz Deputy Clerk

June 14, 21, 28; July 5, 2024 24-01060P

SECOND INSERTION

Notice of Application for Tax Deed 2023XX000272TDAXXX NOTICE IS HEREBY GIVEN, That BEAMIF A LLC, the holder of the following certificates has filed said certificate for a tax deed to be issued thereon. The certificate number and year of issuance, the description of property, and the names in which it was assessed are as follows: Certificate #: 1907717 Year of Issuance: 06/01/2020 Description of Property: 01-25-16-0120-00000-7150 PARKWOOD ACRES UNIT FIVE UNREC PLAT TRACT 715 DESC AS COM

SECOND INSERTION

Notice of Application for Tax Deed 2023XX000266TDAXXX NOTICE IS HEREBY GIVEN, That BEAMIF A LLC, the holder of the following certificates has filed said certificate for a tax deed to be issued thereon. The certificate number and year of issuance, the description of property, and the names in which it was assessed are as follows: Certificate #: 1904061

Year of Issuance: 06/01/2020

Description of Property: 09-24-18-0030-00000-0120

HIGHLAND MEADOWS UNIT 2 PB 12 PGS 101-102 LOT 12

Name(s) in which assessed: LEE MICHIE

All of said property being in the County of Pasco, State of Florida Unless such certificate shall be redeemed according to the law, the property described in such certificate shall be sold to the highest bidder online at http://pasco.realtaxdeed.com, on July 18, 2024 at 10:00 am. May 31, 2024

Office of Nikki Alvarez-Sowles, Esq. Pasco County Clerk & Comptroller By: Denisse Diaz Deputy Clerk June 14, 21, 28; July 5, 2024 24-01059P

40 JUNE 21 - JUNE 27, 2024 BUSINESS OBSERVER PASCO COUNTY --- TAX DEEDS ---
SE
15.05 FT TO POB TH CONT N89DG 44’ 45”W ALG NLY R/W LN OF TROUBLE CREEK RD 30.00 FT TH
23’ 26”E
LAND CO PB 1 PG 68 PORTION OF TRACT 12 DESC AS COM AT
COR OF NE1/4 OF TH N00DG 23’ 26”E 27.30 FT TH N89DG 44’ 45”W
N00DG
47.70 FT TH S89DG 44’ 45”E 29.00 FT TH N00DG 23’ 26”E 147.80 FT TH S89DG 44’ 45”E 1.00
LAKE NO 2 MB 4 PG 74
5 & 6 BLK 5 OR 3478 PG 1995
of said property being in the County of Pasco, State of Florida
law,
at 10:00 am. May 31, 2024 Office of Nikki Alvarez-Sowles, Esq.
County Clerk & Comptroller By: Denisse Diaz Deputy Clerk June 14, 21, 28; July 5, 2024 24-01054P SECOND INSERTION Notice of Application for Tax Deed 2023XX000261TDAXXX NOTICE IS HEREBY GIVEN, That ADVIXIO OPPORTUNITY FUND I LLC, the holder of the following certificates has filed said certificate for a tax deed to be issued thereon. The certificate number and year of issuance, the description of property, and the names in which it was assessed are as follows: Certificate #: 1805836 Year of Issuance: 06/01/2019 Description of Property: CONFIDENTIAL PER F.S. 119 Name(s) in which assessed: CONFIDENTIAL PER F.S. 119 All of said property being in the County of Pasco, State of Florida Unless such certificate shall be redeemed according to the law, the property described in such certificate shall be sold to the highest bidder online at http://pasco.realtaxdeed.com, on July 18, 2024 at 10:00 am. May 31, 2024 Office of Nikki Alvarez-Sowles, Esq. Pasco County Clerk & Comptroller By: Denisse Diaz Deputy Clerk June 14, 21, 28; July 5, 2024 24-01055P
Unless such certificate shall be redeemed according to the
the property described in such certificate shall be sold to the highest bidder online at http://pasco.realtaxdeed.com, on July 18, 2024
Pasco
AT NE COR OF SE1/4 OF SEC 1 TH N89DG 02’ 55”W 1801.23 FT FOR POB TH CONT N89DG 02’ 55”W 100.0 FT TH S01DG 05’ 15”W 200.0 FT TH S89DG 02’ 55”E 100.0 FT TH N01DG 05’ 15”E 200.0 FT TO POB OR 4878 PG 1785 Name(s) in which assessed: KEVIN DARBY ALMA R CEDENO DARBY All of said property being in the County of Pasco, State of Florida Unless such certificate shall be redeemed according to the law, the property described in such certificate shall be sold to the highest bidder online at http://pasco.realtaxdeed.com, on July 18, 2024 at 10:00 am. May 31, 2024 Office of Nikki Alvarez-Sowles, Esq. Pasco County Clerk & Comptroller By: Denisse Diaz Deputy Clerk June 14, 21, 28; July 5, 2024 24-01065P SECOND INSERTION
of Application for Tax Deed 2023XX000274TDAXXX NOTICE IS HEREBY GIVEN, That NOMONYX LLC, the holder of the following certificates has filed said certificate for a tax deed to be issued thereon. The certificate number and year of issuance, the description of property, and the names in which it was assessed are as follows:
#: 1500231
of Issuance: 06/01/2016 Description of Property: 24-23-21-0030-02100-0140
O WEEMS & SEABOARD LAND COMPANY AKA MAP OF LACOOCHEE PB 2 PG 14 LOTS 14,15,16,17, 18 & PART OF 19 BLOCK 21 ALL BEING DESC AS BEGIN AT SW COR SEC 24 TH EAST 35 FT TH NORTH PARALLEL TO WEST BDY 212.5 FT FOR POB TH NORTH 145 FT TO NW COR BLOCK 21 TH EAST 135 FT TH SOUTH 145 FT TO FENCE FORMING THE NORTH BDY OF CEMETERY TH WEST ALONG SAID BDY 135 FT TO POB OR 1899 PG 1646 OR 3978 PG 253 OR 4446 PG 831 Name(s) in which assessed: LUIS QUINTERO MARTHA QUINTERO All of said property being in the County of Pasco, State of Florida Unless such certificate shall be redeemed according to the law, the property described in such certificate shall be sold to the highest bidder online at http://pasco.realtaxdeed.com, on July 18, 2024 at 10:00 am. May 31, 2024 Office of Nikki Alvarez-Sowles, Esq. Pasco County Clerk & Comptroller By: Denisse Diaz Deputy Clerk June 14, 21, 28; July 5, 2024 24-01066P
Notice
Certificate
Year
G

FIRST INSERTION

Notice Under Fictitious Name Law

Pursuant to Section 865.09, Florida

Statutes

NOTICE IS HEREBY GIVEN that the undersigned, desiring to engage in business under the fictitious name of Blackhawk Financial Insurance Agency located at 4447 Pace Ln, in the County of Polk, in the City of Clay, Florida 13041 intends to register the said name with the Division of Corporations of the Department of State, Tallahassee, Florida.

Dated at Clay, Florida this 13th day of June, 2024.

Kern Jason Preddie June 21, 2024 24-00892K

FIRST INSERTION

Notice Under Fictitious Name Law

According to Florida Statute Number 865.09

NOTICE IS HEREBY GIVEN that the undersigned, desiring to engage in business under the Fictitious Name of Janet’ Resin Creations located at 317 Brewer Rd. in the City of Lakeland, Polk County, FL 33813 intends to register the said name with the Division of Corporations of the Department of State, Tallahassee, Florida.

Dated this 13th day of June, 2024.

JANET PAGE June 21, 2024 24-00893K

FIRST INSERTION

PUBLIC NOTICE

“The Florida Department of Transportation will be conveying surplus property located south of the intersection of 6th Street SW and SR 555 (US 17) in incorporated Winter Haven, Polk County. The property contains approximately 6,579 square feet.” June 21, 2024 24-00898K

FIRST INSERTION

NOTICE OF PUBLIC SALE

Notice is hereby given that on 07/05/2024 at 10:30 a.m., the following property will be sold at public auction pursuant to F.S. 715.109: A 2005 HMMT mobile home bearing the vehicle identification numbers FLHMBA174551636A and FLHMBA174551636B and all personal items located inside the mobile home. Last Tenant: Loreen P. Ferguson. Sale to be held at: Palm Key Village, 49473 Highway 27, Davenport, Florida 33897, 863-420-9700. June 21, 28, 2024 24-00915K

NOTICE TO CREDITORS

(Formal Administration) IN THE CIRCUIT COURT FOR POLK COUNTY, FLORIDA PROBATE DIVISION File No.: 2024CP002019 IN RE: ESTATE OF PAUL STEVEN UMSTEAD, Deceased. TO ALL PERSONS HAVING CLAIMS OR DEMANDS AGAINST THE ABOVE ESTATE: YOU ARE HEREBY NOTIFIED that Petition for Formal Administration has been filed in the estate of PAUL STEVEN UMSTEAD, deceased, File Number: 2024CP0020190000XX, is pending in the Circuit Court for Polk County, Florida, Probate Division, the address of which is 255 North Broadway Avenue, Bartow, Florida 33830; that the decedent’s date of death was November 29, 2023; that the total value of the estate is unknow; and, that the

NOTICE TO CREDITORS IN THE CIRCUIT COURT FOR POLK COUNTY, FLORIDA

PROBATE DIVISION File No. 53-2024-CP-001935-0000-XX IN RE: ESTATE OF ANN MCBRIDE HASLEY

POLK COUNTY LEGAL NOTICES

FIRST INSERTION

LEGAL NOTICE

Spring Lakes Apartments - ERP Notice Notice is hereby given that the Southwest Florida Water Management District has received Environmental Resource permit application number 855354 from Scarecrow Acquisition Group, LLC, 2693 W. Fairbanks Ave, Ste 200, Winter Park, FL 32789. Application received: 03/22/2023. Proposed activity: residential. Project name: Spring Lakes Apartments. Project size: 13.83 AC. Location: Section 17 and 20, Township 28 South, Range 26 East, in Polk County. Outstanding Florida Water: yes. Aquatic preserve: no. The application is available for public inspection Monday through Friday at 7601 U.S. Highway 301 North, Tampa, Florida 33637 or through the “Application & Permit Search Tools” function on the District’s website at www.watermatters.org/permits/. Interested persons may inspect a copy of the application and submit written comments concerning the application. Comments must include the permit application number and be received within 14 days from the date of this notice. If you wish to be notified of intended agency action or an opportunity to request an administrative hearing regarding the application, you must send a written request referencing the permit application number to the Southwest Florida Water Management District, Regulation Bureau, 7601 U.S. Highway 301 North, Tampa, Florida 33637 or submit your request through the District’s website at www. watermatters.org. The District does not discriminate based on disability. Anyone requiring accommodation under the ADA should contact the Regulation Bureau at (813)985-7481 or 1(800)8360797, TDD only 1(800)231-6103. June 21, 2024 24-00909K

FIRST INSERTION

NOTICE OF PUBLIC SALE Notice is hereby given that on 07/05/2024 at 10:30 a.m., the following property will be sold at public auction pursuant to F.S. 715.109: A 1984 RICH mobile home bearing Vehicle Identification Number N11931 and all personal items located inside the mobile home. Last Tenant: Brandon Fred Assaf, Tammy Hoffman, as occupant, Donald Allen, as occupant, and Kortney Travis, as occupant. Sale to be held at: Kings Manor, 1500 West Highland Street, Lakeland, Florida 33815, 863688-3228.. June 21, 28, 2024 24-00910K

--- ESTATE ---

names and addresses of those to whom it has been assigned by such order are: NAME ADDRESS CHRISTOPHER MORROW 3819 Auburndale Ave. Orlando, FL, 32839 ALL INTERESTED PERSONS ARE NOTIFIED THAT: All creditors of the estate of the decedent and persons having claims or demands against the estate of the decedent must file their claims with this court WITHIN THE LATER OF THREE (3) MONTHS AFTER THE DATE OF THE FIRST PUBLICATION OF THIS NOTICE OR THIRTY (30) DAYS AFTER THE DATE OF SERVICE OF A COPY OF THIS NOTICE ON THEM. NOTWITHSTANDING ANY OTHER APPLICABLE TIME PERIOD, ANY CLAIM FILED TWO (2) YEARS OR MORE AFTER THE DECEDENTS DATE OF DEATH IS FOREVER BARRED. ALL CLAIMS AND DEMANDS

FIRST INSERTION

Notice Under Fictitious Name Law

Pursuant to Section 865.09, Florida Statutes NOTICE IS HEREBY GIVEN that the undersigned, desiring to engage in business under the fictitious name of JAZZY B GRILLE AND CATERING located at 3009 US Highway 92, in the County of Polk, in the City of Winter Haven, Florida 33881 intends to register the said name with the Division of Corporations of the Department of State, Tallahassee, Florida.

Dated at Winter Haven, Florida, this 12th day of June, 2024. JAZZY B GRILLE 2, LLC June 21, 2024 24-00894K

FIRST INSERTION

NOTICE OF PUBLIC SALE

The following personal property of VERNON RALPH JONES, will, on July 3, 2024, at 10:00 a.m., at 1701 W. Commerce Avenue, Lot #275, Haines City, Polk County, Florida 33844; be sold for cash to satisfy storage fees in accordance with Florida Statutes, Section 715.109:

1997 CLAS MOBILE HOME, VIN: JACFL18380A, TITLE NO.: 0072931180, and VIN: JACFL18380B, TITLE NO.: 0072931179 and all other personal property located therein

PREPARED BY: J. Matthew Bobo Lutz, Bobo & Telfair, P.A. 2 North Tamiami Trail, Suite 500 Sarasota, Florida 34236

[PO#11096-1908] June 21, 28, 2024 24-00908K

FIRST INSERTION

NOTICE OF PUBLIC SALE

Notice is hereby given that on 07/05/2024 at 10:30 a.m., the following property will be sold at public auction pursuant to F.S. 715.109: A 1976 HILL mobile home bearing Vehicle Identification Numbers 0265134AJ and 0265134BJ and all personal items located inside the mobile home. Last Tenant: Marisa Marrero and With Integrity Homes LLC. Sale to be held at: Kings Manor, 1500 West Highland Street, Lakeland, Florida 33815, 863688-3228.

June 21, 28, 2024 24-00916K

NOT SO FILED WILL BE FOREVER BARRED.

The date of the first publication of this Notice is: June 21st, 2024. Person Giving Notice: /s/ Christopher Morrow CHRISTOPHER MORROW Petitioner

Attorney for Person Giving Notice: DAVID WILSON IV, ESQUIRE FL Bar No. 0103204 THE WILSON ADVOCACY GROUP, P.A. P.O. Box 3142 Winter Haven, FL 33885 Phone: (863) 401-8155

Fax: (863) 401-9924

Primary: info@wilsonadvocacygroup.com

Secondary: dwfourth@wilsonadvocacygroup.com

Tertiary: b.moore@wilsonadvocacygroup.com

Attorney for Petitioner June 21, 28, 2024 24-00891K

FIRST INSERTION NOTICE TO CREDITORS IN THE CIRCUIT COURT FOR POLK COUNTY, FLORIDA PROBATE DIVISION File No. 532024CP0013660000XX Division 14 IN RE: ESTATE OF JAMES SIMPKINS JR. Deceased.

The administration of the estate of James Simpkins Jr., deceased, whose date of death was August 25, 2023, is pending in the Circuit Court for Polk County, Florida, Probate Division, the address of which is P.O. Box 9000, Drawer #CC4, Bartow, Florida 338319000. The names and addresses of the personal representative and the personal representative’s attorney are set forth below.

All creditors of the decedent and other persons having claims or demands against decedent’s estate on whom a copy of this notice is required to be served must file their claims with this court ON OR BEFORE THE LATER OF 3 MONTHS AFTER THE TIME OF THE FIRST PUBLICATION OF THIS NOTICE OR 30 DAYS AFTER THE DATE OF SERVICE OF A COPY OF THIS NOTICE ON THEM.

All other creditors of the decedent and other persons having claims or demands against decedent’s estate must file their claims with this court WITHIN 3 MONTHS AFTER THE DATE OF THE FIRST PUBLICATION OF THIS NOTICE. ALL CLAIMS NOT FILED WITHIN THE TIME PERIODS SET FORTH IN FLORIDA STATUTES SECTION 733.702 WILL BE FOREVER BARRED.

NOTWITHSTANDING THE TIME PERIODS SET FORTH ABOVE, ANY CLAIM FILED TWO (2) YEARS OR MORE AFTER THE DECEDENT’S DATE OF DEATH IS BARRED.

The date of first publication of this notice is June 21, 2024.

Personal Representative: Gloria Simpkins

900 East Bell Vista Street, Apt #117 Lakeland, Florida 33805

Attorney for Personal Representative: Rodolfo Suarez Jr. Esq., Attorney Florida Bar Number: 013201 9100 South Dadeland Blvd, Suite 1620 Miami, Florida 33156

Telephone: 305-448-4244

E-Mail: rudy@suarezlawyers.com June 21, 28, 2024 24-00897K

NOTICE TO CREDITORS IN THE CIRCUIT COURT FOR POLK COUNTY, FLORIDA

PROBATE DIVISION File No. 2024-CP-693 IN RE: ESTATE OF MICHAEL LAMAR GODBOLD, Deceased.

The administration of the estate of MICHAEL LAMAR GODBOLD, deceased, whose date of death was July 16, 2023, is pending in the Circuit Court for Polk County, Florida, Probate Division, the address of which is 255 N. Broadway Avenue, Bartow, FL 33830. The names and addresses of the personal representative and the personal representative’s attorney are set forth below.

All creditors of the decedent and other persons having claims or demands

NOTICE TO CREDITORS IN THE CIRCUIT COURT FOR POLK COUNTY, FLORIDA PROBATE DIVISION File No.

FIRST INSERTION

NOTICE TO CREDITORS IN THE CIRCUIT COURT OF THE TENTH JUDICIAL CIRCUIT IN AND FOR POLK COUNTY, FLORIDA PROBATE DIVISION Case No.: 2024CP-1396 IN RE: ESTATE OF DAVID E. LINNE Deceased.

The administration of the estate of DAVID E. LINNE, deceased, whose date of death was March 28, 2023, is pending in the Circuit Court for Polk County, Florida, Probate Division, the address of which is 255 N. Broadway Ave, Bartow, Florida 3380. The names and addresses of the personal representative and the personal representative’s attorney are set forth below.

All creditors of the decedent and other persons having claims or demands against decedent’s estate, on whom a copy of this notice is required to be served, must file their claims with this court ON OR BEFORE THE LATER OF 3 MONTHS AFTER THE TIME OF THE FIRST PUBLICATION OF THIS NOTICE OR 30 DAYS AFTER THE DATE OF SERVICE OF A COPY OF THIS NOTICE ON THEM.

All other creditors of the decedent and other persons having claims or demands against decedent’s estate must file their claims with this court WITHIN 3 MONTHS AFTER THE DATE OF THE FIRST PUBLICATION OF THIS NOTICE.

ALL CLAIMS NOTE FILED WITHIN THE TIME PERIODS SET FORTH IN FLORIDA STATUTES SECTION 733.702 WILL BE FOREVER BARRED.

NOTWITHSTANDING THE TIME PERIOD SET FORTH ABOVE, ANY CLAIM FILED TWO (2) YEARS OR MORE AFTER THE DECEDENT’S DATE OF DEATH IS BARRED.

The date of first publication of this notice is: June 21, 2024. GLENDA J. LINNE Petitioner

SOUTHERN ATLANTIC LAW GROUP, PLLC Lydia Sturgis Zbrzeznj, Esq. Florida Bar No. 98181 290 1st Street S. Winter Haven, Florida 33880 Telephone: (863) 656-6672 Facsimile: (863) 301-4500

Email Addresses: Lydia@southernatlanticlaw.com Attorneys for Personal Representative June 21, 28, 2024 24-00904K

against decedent’s estate, on whom a copy of this notice is required to be served, must file their claims with this court ON OR BEFORE THE LATER OF 3 MONTHS AFTER THE TIME OF THE FIRST PUBLICATION OF THIS NOTICE OR 30 DAYS AFTER THE DATE OF SERVICE OF A COPY OF THIS NOTICE ON THEM. All other creditors of the decedent and other persons having claims or demands against decedent’s estate must file their claims with this court WITHIN 3 MONTHS AFTER THE DATE OF THE FIRST PUBLICATION OF THIS NOTICE. ALL CLAIMS NOT FILED WITHIN THE TIME PERIODS SET FORTH IN FLORIDA STATUTES SECTION 733.702 WILL BE FOREVER BARRED. NOTWITHSTANDING THE TIME

FIRST INSERTION NOTICE TO CREDITORS IN THE CIRCUIT COURT FOR POLK COUNTY, FLORIDA PROBATE DIVISION File No. 2024-CP-001788 IN RE: ESTATE OF JOSHUA DANIEL RAFFIELD, Deceased. The administration of the estate of JOSHUA DANIEL RAFFIELD, deceased, whose date of death was August 28, 2023, is pending in the Circuit Court for Polk County, Florida, Probate Division, the address of which is 255 N. Broadway Avenue, Bartow, FL 33830. The names and addresses of the personal representative and the personal representative’s attorney are set forth below.

All creditors of the decedent and other persons having claims or demands against decedent’s estate, on whom a copy of this notice is required to be served, must file their claims with this court ON OR BEFORE THE LATER OF 3 MONTHS AFTER THE TIME OF THE FIRST PUBLICATION OF THIS NOTICE OR 30 DAYS AFTER THE DATE OF SERVICE OF A COPY OF THIS NOTICE ON THEM. All other creditors of the decedent and other persons having claims or demands against decedent’s estate must file their claims with this court WITHIN 3 MONTHS AFTER THE DATE OF THE FIRST PUBLICATION OF THIS NOTICE. ALL CLAIMS NOT FILED WITHIN THE TIME PERIODS SET FORTH IN FLORIDA STATUTES SECTION 733.702 WILL BE FOREVER BARRED. NOTWITHSTANDING THE TIME PERIOD SET FORTH ABOVE, ANY CLAIM FILED TWO (2) YEARS OR MORE AFTER THE DECEDENT’S DATE OF DEATH IS BARRED. The date of first publication of this notice is: June 21, 2024. TAMMY CLAYBORN Personal Representative 10905 Key Lime Drive Clermont, FL 34711 Robert D. Hines, Esq. Attorney for Personal Representative Florida Bar No. 0413550 Hines Norman Hines, P.L. 1312 W. Fletcher Avenue, Suite B Tampa, FL 33612 Telephone: 813-265-0100

Email: rhines@hnh-law.com

Secondary Email: jrivera@hnh-law.com June 21, 28, 2024 24-00890K

PERIOD SET FORTH ABOVE, ANY CLAIM FILED TWO (2) YEARS OR MORE AFTER THE DECEDENT’S DATE OF DEATH IS BARRED. The date of first publication of this notice is: June 21, 2024. DORTHA GODBOLD Personal Representative 1729 Fox Hill Drive Lakeland, FL 33810 Robert D. Hines, Esq. Attorney for Personal Representative Florida Bar No. 0413550 Hines Norman Hines, P.L. 1312 W. Fletcher Avenue, Suite B Tampa, FL 33612 Telephone: 813-265-0100

Email: rhines@hnh-law.com Secondary Email: jrivera@hnh-law.com June 21, 28, 2024 24-00901K

Deceased. The administration of the estate of Ann McBride Hasley, deceased, whose date of death was January 5, 2024, is pending in the Circuit Court for Polk County, Florida, Probate Division, the address of which is 255 North Broadway Avenue, Bartow, Florida 33830. The names and addresses of the personal representatives and the personal representatives’ attorney are set forth below. All creditors of the decedent and other persons having claims or demands against decedent’s estate on whom a copy of this notice is required to be served must file their claims with this court ON OR BEFORE THE LATER OF 3 MONTHS AFTER THE TIME OF THE FIRST PUBLICATION OF THIS NOTICE OR 30 DAYS AFTER THE DATE OF SERVICE OF A COPY OF THIS NOTICE ON THEM. All other creditors of the decedent and other persons having claims or demands against decedent’s estate must file their claims with this court WITHIN 3 MONTHS AFTER THE DATE OF THE FIRST PUBLICATION OF THIS NOTICE.

MORE AFTER THE DECEDENT’S DATE OF DEATH IS BARRED.

The date of first publication of this notice is June 21, 2024.

Personal Representatives: Deirdre Ann Hasley 1718 Willa Circle Winter Park, FL 32792

Adair Hasley Micheau 13518 Lake Magdalene Drive Tampa, FL 33613

Attorney for Personal Representatives: Mark G. Turner, Esquire

Florida Bar Number: 794929

Straughn & Turner, P.A.

Post Office Box 2295

ALL CLAIMS NOT FILED WITHIN THE TIME PERIODS SET FORTH IN FLORIDA STATUTES SECTION 733.702 WILL BE FOREVER BARRED. NOTWITHSTANDING THE TIME PERIODS SET FORTH ABOVE, ANY CLAIM FILED TWO (2) YEARS OR

Winter Haven, Florida 33883-2295

Telephone: (863) 293-1184

Fax: (863) 293-3051

E-Mail: mturner@straughnturner.com

Secondary E-Mail: ahall@straughnturner.com June 21, 28, 2024 24-00914K

53-2024-CP-001933-0000-XX IN RE: ESTATE OF RANDY DALE MILLER

A/K/A RANDY D. MILLER

Deceased.

The administration of the estate of Randy Dale Miller, A/K/A Randy D. Miller, deceased, whose date of death was March 15, 2024, is pending in the Circuit Court for Polk County, Florida, Probate Division, the address of which is P.O. Box 9000, Drawer CC4, Bartow, FL 33831. The names and addresses of the personal representative and the personal representative’s attorney are set forth below.

All creditors of the decedent and oth-

er persons having claims or demands against decedent’s estate on whom a copy of this notice is required to be served must file their claims with this court ON OR BEFORE THE LATER OF 3 MONTHS AFTER THE TIME OF THE FIRST PUBLICATION OF THIS NOTICE OR 30 DAYS AFTER THE DATE OF SERVICE OF A COPY OF THIS NOTICE ON THEM.

All other creditors of the decedent and other persons having claims or demands against decedent’s estate must file their claims with this court WITHIN 3 MONTHS AFTER THE DATE OF THE FIRST PUBLICATION OF THIS NOTICE.

ALL CLAIMS NOT FILED WITHIN THE TIME PERIODS SET FORTH IN FLORIDA STATUTES SECTION 733.702 WILL BE FOREVER BARRED.

NOTWITHSTANDING THE TIME PERIODS SET FORTH ABOVE, ANY CLAIM FILED TWO (2) YEARS OR MORE AFTER THE DECEDENT’S DATE OF DEATH IS BARRED. The date of first publication of this notice is June 21, 2024. Personal Representative: Heather Miller 9965 E. Gray Hawk Dr. Tucson, AZ 85730 Attorney for Personal Representative: Robert W. Bible, Jr. Attorney for Petitioner Florida Bar Number: 561398 Bob Bible

What makes public notices in newspapers superior to other forms of notices?

Public notices in newspapers are serendipitous. When readers page through a newspaper, they will find important public notice information they otherwise would not find anywhere else. Rarely do consumers specifically search online for public notices.

PAGE 17 **Additional Public Notices may be accessed on BusinessObserverFL.com and the statewide legal notice website, FloridaPublicNotices.com** JUNE 21 - JUNE 27, 2024 PAGES 17-24
Public Notices
--- PUBLIC
--- ESTATE ---
SALES ---
Box 22786 St. Petersburg, Florida
710-5166
June 21, 28, 2024 24-00896K LV18237_V22
Law P.O.
33742 (727)
b.bible@BobBibleLaw.com
FIRST INSERTION FIRST INSERTION FIRST INSERTION FIRST INSERTION SAVE TIME legal@businessobserverfl.com • Deadline Wednesday at noon • Friday Publication LV20906_V21

NOTICE TO CREDITORS IN THE CIRCUIT COURT FOR POLK COUNTY, FLORIDA

PROBATE DIVISION

PROBATE FILE NO. 2024CP-001063 IN RE: Estate of BETTY E. BRYAN, a.k.a. BETTY L. BRYAN

Deceased.

The administration of the estate of Betty E. Bryan, a.k.a. Betty L. Bryan, deceased, whose date of death was March 4, 2024, is pending in the Circuit Court for Polk County, Florida, Probate Division, the address of which is 255 N. Broadway Avenue, Bartow, FL 33830. The names and addresses of the personal representative and the personal representative’s attorney are set forth below. All creditors of the decedent and other persons having claims or demands against decedent’s estate on whom a copy of this notice is required to be served must file their claims with this court ON OR BEFORE THE LATER OF 3 MONTHS AFTER THE TIME OF THE FIRST PUBLICATION OF THIS NOTICE OR 30 DAYS AFTER THE DATE OF SERVICE OF A COPY OF THIS NOTICE ON THEM.

NOTICE TO CREDITORS IN THE CIRCUIT COURT FOR POLK COUNTY, FLORIDA

PROBATE DIVISION

File No.: 2024-CP-002037

Division: Probate IN RE: ESTATE OF TONY LEN HUNT

Deceased.

The administration of the estate of Tony Len Hunt, deceased, whose date of death was December 29, 2023, is pending in the Circuit Court for Polk County, Florida, Probate Division, the address of which is 255 N Broadway Ave., Bartow, FL 33830. The names and addresses of the personal representative and the personal representative’s attorney are set forth below.

All creditors of the decedent and other persons having claims or demands against decedent’s estate on whom a copy of this notice is required to be served must file their claims with this court ON OR BEFORE THE LATER OF 3 MONTHS AFTER THE TIME OF THE FIRST PUBLICATION OF THIS NOTICE OR 30 DAYS AFTER THE DATE OF SERVICE OF A COPY OF THIS NOTICE ON THEM. All other creditors of the decedent

NOTICE OF SALE IN THE CIRCUIT COURT OF THE TENTH JUDICIAL CIRCUIT IN AND FOR POLK COUNTY, FLORIDA CIVIL DIVISION

Case #: 2019CA003661000000

DIVISION: 15 THE BANK OF NEW YORK MELLON FKA THE BANK OF NEW YORK, AS TRUSTEE FOR THE CERTIFICATEHOLDERS OF THE CWALT, INC., ALTERNATIVE LOAN TRUST 2006-43CB, MORTGAGE PASS-THROUGH CERTIFICATES, SERIES 200643CB Plaintiff, -vs.Velmour McGibbon-Garvey a/k/a Velmour McGibbon Garvey; Unknown Spouse of Velmour McGibbon-Garvey a/k/a Velmour McGibbon Garvey; Stonewood Crossing Homeowners Association, Inc.; Unknown Parties in Possession

#1, if living, and all Unknown Parties claiming by, through, under and against the above named Defendant(s) who are not known to be dead or alive, whether said Unknown Parties may claim an interest as Spouse, Heirs, Devisees, Grantees, or Other Claimants; Unknown Parties in Possession

#2, if living, and all Unknown Parties claiming by, through, under and against the above named Defendant(s) who are not known to be dead or alive, whether said Unknown Parties may claim an interest as Spouse, Heirs, Devisees, Grantees, or Other Claimants

Defendant(s).

NOTICE IS HEREBY GIVEN pursuant to order rescheduling foreclosure sale or Final Judgment, entered in Civil Case No. 2019CA003661000000 of the Circuit Court of the 10th Judicial Circuit in and for Polk County, Florida, wherein THE BANK OF NEW YORK

MELLON FKA THE BANK OF NEW YORK, AS TRUSTEE FOR THE CERTIFICATEHOLDERS OF THE CWALT, INC., ALTERNATIVE LOAN

All other creditors of the decedent and other persons having claims or demands against decedent’s estate must file their claims with this court WITHIN 3 MONTHS AFTER THE DATE OF THE FIRST PUBLICATION OF THIS NOTICE. ALL CLAIMS NOT FILED WITHIN THE TIME PERIODS SET FORTH IN FLORIDA STATUTES SECTION 733.702 WILL BE FOREVER BARRED. NOTWITHSTANDING THE TIME PERIODS SET FORTH ABOVE, ANY CLAIM FILED TWO (2) YEARS OR MORE AFTER THE DECEDENT’S DATE OF DEATH IS BARRED. The date of first publication of this notice is June 21, 2024. Personal Representative: Marc Siegel 1501 Suzanne Way Longwood, FL 32779 Attorney for Personal Representative: /s/ William J. Twyford William J. Twyford, Esquire Florida Bar No. 0782505 Twyford Law, LLC Post Office Box 411 Winter Haven, Florida 33882 Tel: (863) 585-5283 e-mail: wjt@Twyfordlawllc.com June 21, 28, 2024 24-00903K

and other persons having claims or demands against decedent’s estate must file their claims with this court WITHIN 3 MONTHS AFTER THE DATE OF THE FIRST PUBLICATION OF THIS NOTICE.

ALL CLAIMS NOT FILED WITHIN THE TIME PERIODS SET FORTH IN FLORIDA STATUTES SECTION 733.702 WILL BE FOREVER BARRED.

NOTWITHSTANDING THE TIME PERIODS SET FORTH ABOVE, ANY CLAIM FILED TWO (2) YEARS OR MORE AFTER THE DECEDENT’S DATE OF DEATH IS BARRED.

The date of first publication of this notice is June 21, 2024.

Personal Representative: Bobbie Jo Bates 1300 N. 20th Street Haines City, FL 33844

Attorney for Personal Representative: /s/ Aliana M. Payret Aliana M. Payret Florida Bar No. 104377 Robinson, Pecaro & Mier, P.A. 201 N. Kentucky Avenue, #2 Lakeland, FL 33801

Email Address: apayret@lawdrive.com June 21, 28, 2024 24-00902K

TRUST 2006-43CB, MORTGAGE PASS-THROUGH CERTIFICATES, SERIES 2006-43CB, Plaintiff and Velmour McGibbon-Garvey a/k/a Velmour McGibbon Garvey are defendant(s), I, Clerk of Court, Stacy M. Butterfield, will sell to the highest and best bidder for cash at www.polk.realforeclose.com at 10:00 A.M. on July 10, 2024, the following described property as set forth in said Final Judgment, to-wit: LOT 24, STONEWOOD CROSSINGS - PHASE 1, ACCORDING TO THE PLAT THEREOF, AS RECORDED IN PLAT BOOK 135, PAGES 39 THROUGH 42, INCLUSIVE, OF THE PUBLIC RECORDS OF POLK COUNTY, FLORIDA. ANY PERSON CLAIMING AN INTEREST IN THE SURPLUS FROM THE SALE, IF ANY, OTHER THAN THE PROPERTY OWNER AS OF THE DATE OF THE LIS PENDENS MUST FILE A CLAIM NO LATER THAN THE DATE THAT THE CLERK REPORTS THE FUNDS AS UNCLAIMED.

If you are a person with a disability who needs any accommodation in order to participate in this proceeding, you are entitled, at no cost to you, to the provision of certain assistance. Please contact the Office of the Court Administrator, 255 N. Broadway Avenue, Bartow, Florida 33830, (863) 534-4686, at least 7 days before your scheduled court appearance, or immediately upon receiving this notification if the time before the scheduled appearance is less than 7 days; if you are hearing or voice impaired, call 711. Submitted By: ATTORNEY FOR PLAINTIFF: LOGS LEGAL GROUP LLP 750 Park of Commerce Blvd., Suite 130 Boca Raton, Florida 33487 (561) 998-6700 (561) 998-6707 19-320512 FC01 ALW June 21, 28, 2024 24-00912K

NOTICE OF FORECLOSURE SALE IN THE CIRCUIT COURT OF THE 10TH JUDICIAL CIRCUIT, IN AND FOR POLK COUNTY, FLORIDA CIVIL DIVISION CASE NO. . 532023CA006279000000

CITADEL SERVICING CORPORATION, Plaintiff, vs. 1027 FANTASY LLC; EMMANUEL MOHAMMED; UNKNOWN PERSON IN POSSESSION OF THE SUBJECT PROPERTY, Defendant(s)

NOTICE IS HEREBY GIVEN pursuant to a Final Judgment of Foreclosure filed April 15, 2024 and entered in Case No. 532023CA006279000000, of the Circuit Court of the 10th Judicial Circuit in and for POLK County, Florida, wherein CITADEL SERVICING CORPORATION is Plaintiff and EMMANUEL MOHAMMED; UNKNOWN PERSON IN POSSESSION OF THE SUBJECT PROPERTY; 1027 FANTASY LLC; are defendants. STACY M. BUTTERFIELD, the Clerk of the Circuit Court, will sell to the highest and best bidder for cash BY ELECTRONIC SALE AT: WWW.POLK. REALFORECLOSE.COM at 10:00 A.M., on July 15, 2024, the following described property as set forth in said Final Judgment, to wit: LOT 1, FANTASY ISLAND RESORT ORLANDO, ACCORDING TO THE PLAT THEREOF AS RECORDED IN PLAT

NOTICE OF SALE PURSUANT TO CHAPTER 45 IN THE CIRCUIT COURT OF THE 10TH JUDICIAL CIRCUIT, IN AND FOR POLK COUNTY, FLORIDA CASE NO.: 532022CA003207000000 SERVBANK, SB., Plaintiff, v. CONNIE MAE TRUTT AND ERIC BRIGGS TRUTT, et al, Defendant(s). NOTICE IS HEREBY GIVEN that pursuant to a Final Judgment in Foreclosure entered on May 28, 2024, and entered in Case No. 532022CA003207000000 in the Circuit Court of the 10th Judicial Circuit in and for Polk County, Florida, wherein CONNIE MAE TRUTT AND ERIC BRIGGS TRUTT, are the Defendants. The Clerk of the Court, Stacy M. Butterfield, will sell to the highest bidder for cash at https://polk.realforeclose. com, on August 27, 2024, at 10:00 a.m., the following described real property as set forth in said Final Judgment, to wit: THE WEST 100 FEET OF LOT 7, LANCASTER SHORES SUBDIVISION, ACCORDING TO THE PLAT BOOK 37, PAGE(S) 14, OF THE PUBLIC RECORDS OF POLK COUNTY, FLORIDA. and commonly known as: 595 W COLUMBIA ST., LAKE ALFRED, FL 33850 (the “Prop-

NOTICE OF FORECLOSURE SALE IN THE CIRCUIT COURT OF THE TENTH JUDICIAL CIRCUIT OF FLORIDA IN AND FOR POLK COUNTY GENERAL JURISDICTION DIVISION CASE NO. 2019CA004397000000 GSMPS MORTGAGE LOAN TRUST 2006-RPI, MORTGAGE PASS-THROUGH CERTIFICATES, SERIES 2006-RPI, U.S. BANK NATIONAL ASSOCIATION, AS TRUSTEE, Plaintiff, vs. CHRISTOPHER D. COLEMAN A/K/A C. COLEMAN A/K/A CHRISTOPHER COLEMAN, et al., Defendant.

NOTICE IS HEREBY GIVEN pursuant to an Amended Summary Final Judgment of Foreclosure entered May 10, 2024 in Civil Case No. 2019CA004397000000 of the Circuit Court of the TENTH JUDICIAL CIRCUIT in and for Polk County, Bartow, Florida, wherein GSMPS MORTGAGE LOAN TRUST 2006-RPI, MORTGAGE PASS-THROUGH CERTIFICATES, SERIES 2006-RPI, U.S. BANK NATIONAL ASSOCIATION, AS TRUSTEE is Plaintiff and Christopher D. Coleman a/k/a C. Coleman a/k/a Christopher Coleman, et al., are Defendants, the Clerk of Court, STACY BUTTERFIELD, CPA, will sell to the highest and best bidder for cash electronically at www.polk.realforeclose.com in accordance with Chapter 45, Florida Statutes on the 15th day of July, 2024 at 10:00

BOOK 190, PAGE(S) 45 AND 46, PUBLIC RECORDS OF POLK COUNTY, FLORIDA.

Any person claiming an interest in the surplus from the sale, if any, other than the property owner as of the date of the lis pendens must file a claim before the Clerk reports the surplus as unclaimed. This notice is provided pursuant to Administrative Order No.1-21.5.

If you are a person with a disability who needs any accommodation in order to participate in this proceeding, you are entitled, at no cost to you, to the provision of certain assistance. Please contact the Office of the Court Administrator, 255 N. Broadway Avenue, Bartow, Florida 33830, (863) 534-4686, at least 7 days before your scheduled court appearance, or immediately upon receiving this notification if the time before the scheduled appearance is less than 7 days; if you are hearing or voice impaired, call 711.

Dated this 17th day of June 2024. /s/ Marc Granger Marc Granger, Esq. Bar. No.: 146870 Kahane & Associates, P.A. 1619 NW 136th Avenue, Suite D-220 Sunrise, Florida 33323

Telephone: (954) 382-3486

Telefacsimile: (954) 382-5380

Designated service email: notice@kahaneandassociates.com

File No.: 23-01307 SM, LLC

V6.20190626

June 21, 28, 2024 24-00906K

erty”).

ANY PERSON CLAIMING AN INTEREST IN THE SURPLUS FROM THE SALE, IF ANY, OTHER THAN THE PROPERTY OWNER AS OF THE DATE OF THE LIS PENDENS MUST FILE A CLAIM WITHIN 60 DAYS AFTER THE SALE.

If you are a person with a disability who needs any accommodation in order to participate in this proceeding, you are entitled, at no cost to you, to the provision of certain assistance.

Please contact the Office of the Court Administrator, 255 N. Broadway Avenue, Bartow, Florida 33830, (863) 534-4686, at least 7 days before your scheduled court appearance, or immediately upon receiving this notification if the time before the scheduled appearance is less than 7 days; if you are hearing or voice impaired, call 711.

WITNESS my hand and the seal of the court on June 18, 2024.

GHIDOTTI | BERGER LLP

Attorneys for Plaintiff 1031 North Miami Beach Boulevard North Miami Beach, FL 33162

Telephone: (305) 501-2808

Facsimile: (954) 780-5578

By: /s/Jason Duggar

Jason Duggar, Esq. Florida Bar No. 83813

fcpleadings@ghidottiberger.com

June 21, 28, 2024 24-00911K

AM on the following described property as set forth in said Summary Final Judgment, to-wit: Lot 24, Kings Pond Phase One, according to that certain plat as recorded in Plat Book 87, Pages 44 and 45, Public Records of Polk County, Florida.

Any person claiming an interest in the surplus from the sale, if any, other than the property owner as of the date of the lis pendens, must file a claim before the clerk reports the surplus as unclaimed. If you are a person with a disability who needs any accommodation in order to participate in this proceeding, you are entitled, at no cost to you, to the provision of certain assistance. Please contact the Office of the Court Administrator, 255 N. Broadway Avenue, Bartow, Florida 33830, (863) 534-4686, at least 7 days before your scheduled court appearance, or immediately upon receiving this notification if the time before the scheduled appearance is less than 7 days; if you are hearing or voice impaired, call 711.

By: /s/ Robyn Katz

Robyn Katz, Esq.

McCalla Raymer Leibert Pierce, LLC

Attorney for Plaintiff 225 East Robinson Street, Suite 155 Orlando, FL 32801

Phone: (407) 674-1850

Fax: (321) 248-0420

Email: MRService@mccalla.com

NOTICE OF FORECLOSURE SALE IN THE CIRCUIT COURT OF THE TENTH JUDICIAL CIRCUIT IN AND FOR POLK COUNTY, FLORIDA CASE NO.: 2019-CA-001518

FBC MORTGAGE, LLC, Plaintiff, v. SCHERLEY LAGUERRE, et al., Defendants.

NOTICE is hereby given that Stacy M. Butterfield, Clerk of the Circuit Court of Polk County, Florida, will on July 16, 2024, at 10:00 a.m. ET, via the online auction site at www.polk.realforeclose. com in accordance with Chapter 45, F.S., offer for sale and sell to the highest and best bidder for cash, the following described property situated in Polk County, Florida, to wit: Lot 118, Aldea Reserve, according to the map or plat thereof, as recorded in Plat Book 135, Page(s) 23, of the Public Records of Polk County, Florida. Property Address: 438 Vitoria Road, Davenport, FL 33837 pursuant to the Final Judgment of Foreclosure entered in a case pending in said Court, the style and case number of which is set forth above. Any person claiming an interest in the surplus from the sale, if any, other than the property owner as of the date of the Lis Pendens must file a claim before the clerk reports the surplus as unclaimed.

If the sale is set aside for any reason, the Purchaser at the sale shall be entitled only to a return of

JUNE 21 - JUNE 27, 2024 BUSINESS OBSERVER POLK COUNTY 18
--- ESTATE -----
----- SALES ---
SALES
deposit paid.
have no further re-
Mortgagor,
Mort-
attorney.
disability
no cost to you, to the provision of certain assistance. Please contact the Office of the Court Administrator, 255 N. Broadway Avenue, Bartow, Florida 33830, (863) 534-4686, at least 7 days before your scheduled court appearance, or immediately upon receiving this notification if the time before the scheduled appearance is less than 7 days; if you are hearing or voice impaired, call 711. SUBMITTED on this 17th day of June, 2024. TIFFANY & BOSCO, P.A. /s/ Kathryn I. Kasper, Esq. Anthony R. Smith, Esq. FL Bar #157147 Kathryn I. Kasper, Esq. FL Bar #621188 Attorneys for Plaintiff OF COUNSEL: Tiffany & Bosco, P.A. 1201 S. Orlando Ave, Suite 430 Winter Park, FL 32789 Telephone: (205) 930-5200 Facsimile: (407) 712-9201 June 21, 28, 2024 24-00900K
the
The Purchaser shall
course against the
the
gagee or the Mortgagee’s
If you are a person with a
who needs any accommodation in order to participate in this proceeding, you are entitled, at
24-00913K LV10250 HOW TO PUBLISH YOUR LEGAL NOTICE IN THE BUSINESS OBSERVER CALL 941-906-9386 and select the appropriate County name from the menu option OR e-mail legal@businessobserverfl.com LV10177 legal@businessobserverfl.com E-mail your Legal Notice SAVE TIME Call 941-906-9386 and select the appropriate County name from the menu option • We offer an online payment portal for easy credit card payment • Service includes us e-filing your affidavit to the Clerk’s office on your behalf We publish all Public sale, Estate & Court-related notices or email legal@businessobserverfl.com LEGAL NO TICE PUBLISH YOUR LV20878_V15 FIRST INSERTION FIRST INSERTION FIRST INSERTION FIRST INSERTION FIRST INSERTION FIRST INSERTION FIRST INSERTION
Fla. Bar No.: 146803 23-07706FL June 21, 28, 2024

NOTICE OF FORECLOSURE SALE IN THE CIRCUIT COURT OF THE TENTH JUDICIAL CIRCUIT IN AND FOR POLK COUNTY, FLORIDA CASE NUMBER:

53-2022-CA-000969-0000-00

MAY CUSTOM HOME, INC., Plaintiff, v. THEODORA BAPTISTE, Defendant.

NOTICE IS HEREBY GIVEN that pursuant to the Final Judgment of Foreclosure dated and entered on June 5, 2024, in case number 2022-CA-000969, in the Circuit Court of the Tenth Judicial Circuit Case, in and for Polk County, Florida, the Clerk of the Court will sell the following described property located in Polk County, Florida to-wit: Parcel #: 242728-934010132080 Legal Description: Lot 8, Block 132, POINCIANA NEIGHBORHOOD 3, VILLAGE 3, according to the plat thereof recorded in Plat Book 52, Pages 19 through 31, Public Records of Polk County, Florida. Property Address: 744 Caribou Drive, Poinciana, FL 34758 at public sale, to the highest and best bidder for cash in by electronic sale on

NOTICE OF FORECLOSURE SALE IN THE CIRCUIT COURT OF THE 10TH JUDICIAL CIRCUIT, IN AND FOR POLK COUNTY, FLORIDA CIVIL DIVISION: CASE NO.: 2023CA-005869-0000-00 LAKEVIEW LOAN SERVICING, LLC, Plaintiff, vs. THIRAPHON BARRIER; BELLA TOSCANA HOMEOWNERS ASSOCIATION, INC.; FLORIDA HOUSING FINANCE CORPORATION; JAMES HAY; UNKNOWN TENANT IN POSSESSION OF THE SUBJECT

PROPERTY, Defendants.

NOTICE IS HEREBY GIVEN pursuant to an Order or Final Judgment entered in the above styled cause now pending in said court and as required by Florida Statute 45.031(2), STACY M. BUTTERFIELD, CPA as the Clerk of the Circuit Court shall sell to the highest and best bidder for cash electronically at www.polk.realforeclose.com at, 10:00 AM on the 11 day of July, 2024, the following described property as set forth in said Final Judgment, to wit: LOT 168, OF BELLA TOSCANA, ACCORDING TO THE PLAT THEREOF, AS RECORDED IN PLAT BOOK 135, PAGE(S) 5 THROUGH 10, OF THE PUBLIC RECORDS OF POLK COUNTY, FLORIDA. PROPERTY ADDRESS: 336 ALFANI ST, DAVENPORT, FL 33896 IF YOU ARE A PERSON CLAIMING A RIGHT TO FUNDS REMAINING

NOTICE OF SALE

July 10, 2024, beginning at 10:00 A.M. (Eastern Time), the Polk County Clerk of Court will offer by electronic sale at https://polk.realforeclose.com.

Any person claiming an interest in the surplus from the sale, if any, other than the property owner as of the date of the lis pendens must file a claim within sixty (60) days after the sale. The Court, in its discretion, may enlarge the time of the sale.

If you are a person with a disability who needs any accommodation in order to participate in this proceeding, you are entitled, at no cost to you, to the provision of certain assistance. Please contact the Office of the Court Administrator, 255 N. Broadway Avenue, Bartow, Florida 33830, (863) 534-4686, at least 7 days before your scheduled court appearance, or immediately upon receiving this notification if the time before the scheduled appearance is less than 7 days; if you are hearing or voice impaired, call 711. Submitted by Gavin D. Magaziner, Esquire Magaziner Law, P.A. 1703 N. McMullen Booth Road, #971 Safety Harbor, Florida 34695 Attorney for Plaintiff June 21, 28, 2024 24-00889K

AFTER THE SALE, YOU MUST FILE A CLAIM WITH THE CLERK NO LATER THAN THE DATE THAT THE CLERK REPORTS THE FUNDS AS UNCLAIMED. IF YOU FAIL TO FILE A CLAIM, YOU WILL NOT BE ENTITLED TO ANY REMAINING FUNDS. AFTER THE FUNDS ARE REPORTED AS UNCLAIMED, ONLY THE OWNER OF RECORD AS OF THE DATE OF THE LIS PENDENS MAY CLAIM THE SURPLUS.

If you are a person with a disability who needs assistance in order to participate in a program or service of the State Courts System, you should contact the Office of the Court Administrator at (863) 534-4686 (voice), (863) 534-7777 (TDD) or (800) 955-8770 (Florida Relay Service), as much in advance of your court appearance or visit to the courthouse as possible. Please be prepared to explain your functional limitations and suggest an auxiliary aid or service that you believe will enable you to effectively participate in the court program or service.

Dated this 11 day of June 2024. By: /s/ Lindsay Maisonet Lindsay Maisonet, Esq. Bar Number: 93156

Submitted by: De Cubas & Lewis, P.A. PO Box 5026 Fort Lauderdale, FL 33310 Telephone: (954) 453-0365 Facsimile: (954) 771-6052 Toll Free: 1-800-441-2438 DESIGNATED PRIMARY E-MAIL FOR SERVICE PURSUANT TO FLA. R. JUD. ADMIN 2.516 eservice@decubaslewis.com 23-02277 June 21, 28, 2024 24-00895K

FIRST INSERTION

PURSUANT TO CHAPTER 45 IN THE CIRCUIT COURT OF THE TENTH JUDICIAL CIRCUIT IN AND FOR POLK COUNTY, FLORIDA. CIVIL DIVISION CASE NO.

532023CA004437000000 LAKEVIEW LOAN SERVICING, LLC, Plaintiff, vs. PEDRO MIGUEL PEREZ COSME; GIZELLE PEREZ; PLEASANT HILL ESTATES HOMEOWNERS ASSOCIATION OF POLK COUNTY, INC.; UNKNOWN TENANT NO. 1; UNKNOWN TENANT NO. 2; and ALL UNKNOWN PARTIES CLAIMING INTERESTS BY, THROUGH, UNDER OR AGAINST A NAMED DEFENDANT TO THIS ACTION, OR HAVING OR CLAIMING TO HAVE ANY RIGHT, TITLE OR INTEREST IN THE PROPERTY HEREIN DESCRIBED, Defendant(s). NOTICE IS HEREBY GIVEN pursuant to a Consent Summary Final Judgment of Foreclosure dated June 4, 2024, and entered in Case No. 532023CA004437000000 of the Circuit Court in and for Polk County, Florida, wherein LAKEVIEW LOAN SERVICING, LLC is Plaintiff and PEDRO MIGUEL PEREZ COSME; GIZELLE PEREZ; PLEASANT HILL ESTATES HOMEOWNERS ASSOCIATION OF POLK COUNTY, INC.; UNKNOWN TENANT NO. 1; UNKNOWN TEN-

NOTICE OF ACTIONCONSTRUCTIVE SERVICE IN THE CIRCUIT COURT OF THE TENTH JUDICIAL CIRCUIT IN AND FOR POLK COUNTY, FLORIDA GENERAL JURISDICTION DIVISION CASE NO. 532024CA001166000000

LAKEVIEW LOAN SERVICING, LLC

Plaintiff, vs. MARK RODRIGUEZ-SOTO AKA

MARK ANTHONY

RODRIGUEZ-SOTO AKA MARK

RODRIGUEZ, et. al.

Defendant(s), TO: MARK RODRIGUEZ-SOTO AKA

MARK ANTHONY RODRIGUEZSOTO AKA MARK RODRIGUEZ; UNKNOWN SPOUSE OF MARK RODRIGUEZ-SOTO AKA MARK ANTHONY RODRIGUEZ-SOTO AKA

MARK RODRIGUEZ, who residence is unknown and all parties having or claiming to have any right, title or interest in the property described in the mortgage being foreclosed herein. YOU ARE HEREBY NOTIFIED that an action to foreclose a mortgage on the following property: LOT 79, CITRUS ISLE, ACCORDING TO THE PLAT THEREOF, AS RECORDED IN PLAT BOOK 166M PAGE(S) 44 THROUGH 47, OF THE PUBLIC RECORDS OF POLK COUNTY, FLORIDA. Has been filed against you and you are required to serve a copy of your written defenses, if any, to it on counsel for

Plaintiff, whose address is 6409 Congress Avenue, Suite 100, Boca Raton, Florida 33487 on or before 7/21/2024 / (30 days from the Date of First Publication of this Notice) and file the original with the clerk of this court either before service on Plaintiff’s attorney or immediately thereafter, otherwise a default will be entered against you for the relief demanded in the complaint or petition filed herein.

If you are a person with a disability who needs any accommodation in order to participate in this proceeding, you are entitled, at no cost to you, to the provision of certain assistance. Please contact the Office of the Court Administrator, 255 N. Broadway Avenue, Bartow, Florida 33830, (863) 534-4686, at least 7 days before your scheduled court appearance, or immediately upon receiving this notification if the time before the scheduled appearance is less than 7 days; if you are hearing or voice impaired, call 711.

THIS NOTICE SHALL BE PUBLISHED ONCE A WEEK FOR TWO (2) CONSECUTIVE WEEKS. WITNESS my hand and the seal of this Court at County, Florida, this 5 day of June, 2024.

Stacy M. Butterfield Clerk of the Circuit Court

By: Carolyn Mack DEPUTY CLERK

Robertson, Anschutz, Schneid, Crane & Partners PLLC 6409 Congress Ave., Suite 100 Boca Raton, FL 33487 PRIMARY EMAIL: flmail@raslg.com 24-185189

June 21, 28, 2024 24-00888K

SECOND INSERTION

NOTICE OF PUBLIC SALE

The following personal property of THOMAS C. WOODWARD and PAMELA J. WOODWARD, if deceased any unknown heirs or assigns, will, on July 1, 2024, at 10:00 a.m., at 2044 Red Cedar Drive, Lot #197, Lakeland, Polk County, Florida 33810; be sold for cash to satisfy storage fees in accordance with Florida Statutes, Section 715.109: 1991 PALM MOBILE HOME, VIN: PH066824A, TITLE NO.: 0049711974, and VIN: PH066824B, TITLE NO.: 0049705843 and all other personal property located therein

PREPARED BY: J. Matthew Bobo Lutz, Bobo & Telfair, P.A. 2 North Tamiami Trail, Suite 500 Sarasota, Florida 34236 June 14, 21, 2024 24-00885K

SECOND INSERTION

NOTICE OF PUBLIC SALE

The following personal property of GREGORY LEE ALECK, if deceased any unknown heirs or assigns, will, on June 26, 2024, at 10:00 a.m., at 169 Valencia Drive, Lot #169, Winter Haven, Polk County, Florida 33884; be sold for cash to satisfy storage fees in accordance with Florida Statutes, Section 715.109: 1977 SKYL MOBILE HOME, VIN: 03630410AK, TITLE NO.: 0014566758, and VIN: 03630410BK, TITLE NO.: 0014566759 and all other personal property located therein

PREPARED BY: J. Matthew Bobo Lutz, Bobo & Telfair, P.A. 2 North Tamiami Trail, Suite 500 Sarasota, Florida 34236 June 14, 21, 2024 24-00861K

SECOND INSERTION

NOTICE TO CREDITORS IN THE CIRCUIT COURT FOR POLK COUNTY, FLORIDA PROBATE DIVISION File No. 53-2024-CP-001635-0000-XX IN RE: ESTATE OF WENDY MARIE STALFORD, AKA WENDY H. STALFORD Deceased.

and other persons having claims or demands against decedent’s estate must file their claims with this court WITHIN 3 MONTHS AFTER THE DATE OF THE FIRST PUBLICATION OF THIS NOTICE.

NOTICE OF ACTION IN THE CIRCUIT COURT OF THE 10TH JUDICIAL CIRCUIT IN AND FOR POLK COUNTY, FLORIDA CASE NO.: 532024CA000601000000

U.S. BANK TRUST NATIONAL ASSOCIATION, AS TRUSTEE FOR LB-RANCH SERIES V TRUST, Plaintiff, v. ALL UNKNOWN HEIRS, BENEFICIARIES, LEGATEES, DEVISEES, PERSONAL REPRESENTATIVES, CREDITORS AND ANY OTHER PERSON CLAIMING BY, THROUGH, UNDER OR AGAINST GAIL D. SMITH, DECEASED; KIMATHIA L. BELL; PRECIOUS D. BYRD; TOMMY LEE FOSTER, JR.; KATINA S. ONER; LAQUASHA SHANAY STEPHENS; KATINA LYNN THOMPKINS; TAMESHIA LASHAWNDA MOORE; POLK COUNTY CLERK OF COURT; UNKNOWN TENANT #1; UNKNOWN TENANT #2; Defendant(s). To the following Defendant(s): TOMMY LEE FOSTER, JR. (Last Known Address: 6315 CONDUCTOR COURT, LAKELAND, FL 33813)

YOU ARE NOTIFIED that an action to foreclose based on boundaries established by acquiescence, on the following described property: LOT 15, BLOCK L, BELLEVIEW PARK, ACCORDING TO THE MAP OR PLAT THEREOF AS RECORDED IN PLAT BOOK 8, PAGE 7, PUBLIC RECORDS OF POLK COUNTY, FLORIDA; LESS THE SOUTH 10 FEET FOR RIGHT OF WAY AS DESCRIBED IN O.R. BOOK 1392, PAGE 875, PUBLIC RECORDS OF POLK COUNTY, FLORIDA.

PROPERTY ADDRESS: 709 CRAWFORD STREET W., LAKELAND, FL 33805 has been filed against you and you are required to serve a copy of your written defenses, if any, to it, on Ghidotti | Berger LLP, Attorney for Plaintiff, whose address is 1031 North Miami Beach Boulevard, North Miami Beach, FL 33162 on or before 7-18-24, a date which is within thirty (30) days after the first publication of this Notice in the Business Observer and file the original with the Clerk of this Court either before service on Plaintiff’s attorney or immediately thereafter; otherwise a default will be entered against you for the relief demanded in the complaint. This notice is provided pursuant to Administrative Order No. 2010-08 If you are a person with a disability who needs any accommodation in order to participate in this proceeding, you are entitled, at no cost to you, to the provision of certain assistance. Please contact the Office of the Court Administrator, 255 N. Broadway Avenue, Bartow, Florida 33830, (863) 534-4686, at least 7 days before your scheduled court appearance, or immediately upon receiving this notification if the time before the scheduled appearance is less than 7 days; if you are hearing or voice impaired, call 711. WITNESS my hand and the seal of this Court this 10 day of June, 2024. STACY M. BUTTERFIELD As Clerk of the Court (SEAL) By /s/ Carolyn Mack As Deputy Clerk Ghidotti| Berger LLP, Attorney for Plaintiff, 1031 North Miami Beach Boulevard, North Miami Beach, FL 33162 June 21, 28, 2024 24-00905K

The administration of the estate of Wendy Marie Stalford, aka Wendy H. Stalford, deceased, whose date of death was January 29, 2024, is pending in the Circuit Court for Polk County, Florida, Probate Division, the address of which is 255 North Broadway Avenue, Bartow, Florida 33830. The names and addresses of the personal representative and the personal representative’s attorney are set forth below. All creditors of the decedent and other persons having claims or demands against decedent’s estate on whom a copy of this notice is required to be served must file their claims with this court ON OR BEFORE THE LATER OF 3 MONTHS AFTER THE TIME OF THE FIRST PUBLICATION OF THIS NOTICE OR 30 DAYS AFTER THE DATE OF SERVICE OF A COPY OF THIS NOTICE ON THEM.

All other creditors of the decedent

ALL CLAIMS NOT FILED WITHIN THE TIME PERIODS SET FORTH IN FLORIDA STATUTES SECTION 733.702 WILL BE FOREVER BARRED. NOTWITHSTANDING THE TIME PERIODS SET FORTH ABOVE, ANY CLAIM FILED TWO (2) YEARS OR MORE AFTER THE DECEDENT’S DATE OF DEATH IS BARRED. The date of first publication of this notice is June 14, 2024. Personal Representative: Douglas J. Stalford 1020 S. Lake Mariam Drive Winter Haven, FL 33884 Attorney for Personal Representative: Mark G. Turner, Esquire Florida Bar Number: 794929 Post Office Box 2295 Winter Haven, Florida 33883-2295 Telephone: (863) 293-1184 Fax: (863) 293-3051 E-Mail: mturner@straughnturner.com

Secondary E-Mail: ahall@straughnturner.com June 14, 21, 2024 24-00863K

SECOND INSERTION

If you are a person with a disability who needs any accommodation in order to participate in this proceeding, you are entitled, at no cost to you, to the provision of certain assistance. Please contact the Office of the Court Administrator, 255 N. Broadway Avenue, Bartow, Florida 33830, (863) 534-4686, at least 7 days before your scheduled court appearance, or immediately upon receiving this notification if the time before the scheduled appearance is less than 7 days; if you are hearing or voice impaired, call 711.

Pursuant to Florida Statute 45.031(2), this notice shall be published twice, once a week for two consecutive weeks, with the last publication being at least 5 days prior to the sale.

DATED June 18, 2024.

By: /s/ Lisa Woodburn

Lisa A Woodburn

Florida Bar No.: 11003 Roy Diaz, Attorney of Record

Florida Bar No. 767700 Diaz Anselmo & Associates, P.A.

Attorneys for Plaintiff 499 NW 70th Ave., Suite 309

Fort Lauderdale, FL 33317

Telephone: (954) 564-0071

Facsimile: (954) 564-9252 Service E-mail: answers@dallegal.com

1691-186497 / TM1 June 21, 28, 2024 24-00899K

ANT NO. 2; and ALL UNKNOWN PARTIES CLAIMING INTERESTS BY, THROUGH, UNDER OR AGAINST A NAMED DEFENDANT TO THIS ACTION, OR HAVING OR CLAIMING TO HAVE ANY RIGHT, TITLE OR INTEREST IN THE PROPERTY HEREIN DESCRIBED, are Defendants, STACY M. BUTTERFIELD, the Clerk of the Circuit Court, will sell to the highest and best bidder for cash online at www.polk.realforeclose.com, at 10:00 a.m., on September 3, 2024, the following described property as set forth in said Order or Final Judgment, to-wit: LOT 6, AS SHOWN ON THE PLAT ENTITLED “PLEASANT HILL ESTATES”, RECORDED IN PLAT BOOK 168, PAGES 22 THROUGH 25, OF THE PUBLIC RECORDS OF POLK COUNTY, FLORIDA. ANY PERSON CLAIMING AN INTEREST IN THE SURPLUS FROM THE SALE, IF ANY, OTHER THAN THE PROPERTY OWNER AS OF THE DATE OF THE LIS PENDENS MUST FILE A CLAIM BEFORE THE CLERK REPORTS THE SURPLUS AS UNCLAIMED. THE COURT, IN ITS DESCRETION, MAY ENLARGE THE TIME OF THE SALE. NOTICE OF THE CHANGED TIME OF SALE SHALL BE PUBLISHED AS PROVIDED HEREIN.

NOTICE OF ACTION IN THE CIRCUIT COURT OF THE TENTH JUDICIAL CIRCUIT OF FLORIDA IN AND FOR POLK COUNTY GENERAL JURISDICTION DIVISION CASE NO. 2024CA001284000000 LAKEVIEW LOAN SERVICING LLC, Plaintiff, vs. IVELISSE LASTRA, et al., Defendant. To: IVELISSE LASTRA, 2 PINE RUN, HAINES CITY, FL 33844

UNKNOWN SPOUSE OF IVELISSE LASTRA, 2 PINE RUN, HAINES CITY, FL 33844

UNKNOWN TENANT IN POSSESSION I, 2 PINE RUN, HAINES CITY, FL 33844

UNKNOWN TENANT IN POSSESSION 2, 2 PINE RUN, HAINES CITY, FL 33844

LAST KNOWN ADDRESS STATED, CURRENT RESIDENCE UNKNOWN YOU ARE HEREBY NOTIFIED that an action to foreclose Mortgage covering the following real and personal property described as follows, to-wit: LOT G2, SUN AIR COUNTRY CLUB FIRST ADDITION, ACCORDING TO THE MAP OR PLAT THEREOF, RECORDED IN PLAT BOOK 65, PAGE(S) 6, PUBLIC RECORDS OF POLK COUNTY, FLORIDA. has been filed against you and you are required to a copy of your written de-

fenses, if any, to it on Sara Collins, McCalla Raymer Leibert Pierce, LLC, 225 East Robinson Street, Suite 155, Orlando, FL 32801 and file the original with the Clerk of the above- styled Court on or before 7-15-24 or 30 days from the first publication, otherwise a Judgment may be entered against you for the relief demanded in the Complaint. If you are a person with a disability who needs any accommodation in order to participate in this proceeding, you are entitled, at no cost to you, to the provision of certain assistance. Please contact the Office of the Court Administrator, 255 N. Broadway Avenue, Bartow, Florida 33830, (863) 534-4686, at least 7 days before your scheduled court appearance, or immediately upon receiving this notification if the time before the scheduled appearance is less than 7 days; if you are hearing or voice impaired, call 711. WITNESS my hand and seal of said Court on the 5 day of June, 2024. Stacy M. Butterfield CLERK OF THE CIRCUIT COURT As Clerk of the Court (SEAL) BY: /s/ Carolyn Mack Deputy Clerk

MCCALLA RAYMER LEIBERT PIERCE, LLC

225 East Robinson Street, Suite 155, Orlando, FL 32801

Phone: (407) 674-1850

Fax: (321) 248-0420

Email: AccountsPayable@mccalla.com 24-09393FL June 21, 28, 2024 24-00907K

NOTICE TO CREDITORS IN THE CIRCUIT COURT FOR POLK COUNTY, FLORIDA PROBATE DIVISION File No.:2024CP0017820000XX Division: Probate IN RE: ESTATE OF ROBERT W. HIGGINSON Deceased. The ancillary administration of the Estate of Robert W. Higginson, deceased, whose date of death was January 30, 2023, is pending in the Circuit Court for Polk County, Florida, Probate Division, the address of which is 255 N. Broadway Avenue, Bartow, Florida 33830-3912. The names and addresses of the Ancillary Personal Representative and the Ancillary Personal Representative’s attorney are set forth below. All creditors of the decedent and other persons having claims or demands against decedent’s estate on whom a copy of this notice is required to be served must file their claims with this court WITHIN THE LATER OF 3 MONTHS AFTER THE TIME OF THE FIRST PUBLICATION OF THIS NOTICE OR 30 DAYS AFTER THE DATE OF SERVICE OF A COPY OF THIS NOTICE ON THEM. All other creditors of the decedent

and other persons having claims or demands against decedent’s estate must file their claims with this court WITHIN 3 MONTHS AFTER THE DATE OF THE FIRST PUBLICATION OF THIS NOTICE. ALL CLAIMS NOT FILED WITHIN THE TIME PERIODS SET FORTH IN SECTION 733.702 OF THE FLORIDA PROBATE CODE WILL BE FOREVER BARRED. NOTWITHSTANDING THE TIME PERIODS SET FORTH ABOVE, ANY CLAIM FILED TWO (2) YEARS OR MORE AFTER THE DECEDENT’S DATE OF DEATH IS BARRED. The date of first publication of this notice is June 14, 2024.

Personal Representative: Kirsty R. Higginson 26 Clive Avenue, Warrington Cheshire WA2 9NX United Kingdom Attorney for Personal Representative: Lee H. Massey Florida Bar Number: 36207 Lewis and Massey, P.A. 1021 Massachusetts Avenue St. Cloud, Florida 34769 Telephone: (407) 892-5138 E-Mail: lmassey@lewismasseylaw.com June 14, 21, 2024 24-00878K

THIRD INSERTION

NOTICE OF ACTION FOR DISSOLUTION OF MARRIAGE (NO CHILD OR FINANCIAL SUPPORT) IN THE CIRCUIT COURT OF THE TENTH JUDICIAL CIRCUIT, IN AND FOR POLK COUNTY, FLORIDA Case No : 2022DR-7845 PERSO DESIR GABELUS, Petitioner, and YOLA ARIUS, Respondent, TO: YOLA ARIUS 1577 SAVANNAH DRIVE EVANSVILLE IN 47714

YOU ARE NOTIFIED that an action for DISSOLUTION OF MARRIAGE has been filed against you and that you are required to serve a copy of your written defenses, if any, to it on PERSO DESIR GABELUS, C/O HEATHER BRYAN ESQ., whose address is 811 S. MISSOURI AVE., LAKELAND, FL 33815 OR HEATHER@ CRIMINALFAMILYLAW.COM on or before 7/8/24, and file the original with the clerk of this Court at 255 N. BROADWAY AVE., BARTOW, FL 33830, before service on Petitioner or immediately thereafter. If you fail to do so, a default may be entered against you for the relief demanded in the petition. The action is asking the court to decide how the following real or personal property should be divided: NONE. Copies of all court documents in this case, including orders, are available at the Clerk of the Circuit Court’s office.

JUNE 21 - JUNE 27, 2024 BusinessObserverFL.com
19
POLK COUNTY
may review these documents upon request.
must keep the Clerk of the Circuit Court’s office notified of your current address. (You may file Designation of Current Mailing and E-Mail Address, Florida Supreme Court Approved Family Law Form 12.915.) Future papers in this lawsuit will be mailed or e-mailed to the address(es) on record at the clerk’s office. WARNING: Rule 12.285, Florida Family Law Rules of Procedure, requires certain automatic disclosure of documents and information. Failure to comply can result in sanctions, including dismissal or striking of pleadings. Dated: 5/31/24 Stacy M. Butterfield CLERK OF THE CIRCUIT COURT (SEAL) By: Jennifer Harrison Deputy Clerk June 7, 14, 21, 28, 2024 24-00842K --- PUBLIC SALES ----- ESTATE ----- ACTIONS ---
You
You
INSERTIONS
SUBSEQUENT
--- ACTIONS / SALES --FIRST INSERTION FIRST INSERTION FIRST INSERTION FIRST INSERTION FIRST INSERTION

SECOND INSERTION

NOTICE TO CREDITORS IN THE CIRCUIT COURT FOR POLK COUNTY, FLORIDA

PROBATE DIVISION

File No. 2024 CP 1804

IN RE: ESTATE OF RAYMOND WILFRED RICE

Deceased. The administration of the estate of Raymond Wilfred Rice, deceased, whose date of death was April 30, 2024, is pending in the Circuit Court for Polk County, Florida, Probate Division, the address of which is 255 N Broadway Ave. Bartow, FL 33830. The names and addresses of the personal representative and the personal representative’s attorney are set forth below. All creditors of the decedent and other persons having claims or demands against decedent’s estate on whom a copy of this notice is required to be served must file their claims with this court ON OR BEFORE THE LATER OF 3 MONTHS AFTER THE TIME OF THE FIRST PUBLICATION OF THIS NOTICE OR 30 DAYS AFTER THE DATE OF SERVICE OF A COPY OF THIS NOTICE ON THEM.

All other creditors of the decedent and other persons having claims or demands against decedent’s estate must file their claims with this court WITHIN 3 MONTHS AFTER THE DATE OF THE FIRST PUBLICATION OF THIS NOTICE.

ALL CLAIMS NOT FILED WITHIN THE TIME PERIODS SET FORTH IN FLORIDA STATUTES SECTION 733.702 WILL BE FOREVER BARRED.

NOTWITHSTANDING THE TIME PERIODS SET FORTH ABOVE, ANY CLAIM FILED TWO (2) YEARS OR MORE AFTER THE DECEDENT’S DATE OF DEATH IS BARRED.

The date of first publication of this notice is June 14, 2024.

Personal Representative: Patrick L. Smith 179 N US Hwy 27 Ste F Clermont, Florida 34711

Attorney for Personal Representative:

Patrick L. Smith

Attorney Florida Bar Number: 27044

179 N US Hwy 27, Ste. F Clermont, FL 34711

Telephone: (352) 204-0305

Fax: (352) 989-4265

E-Mail: patrick@attorneypatricksmith.com

Secondary E-Mail: becky@attorneypatricksmith.com

June 14, 21, 2024 24-00873K

SECOND INSERTION

NOTICE TO CREDITORS IN THE CIRCUIT COURT FOR POLK COUNTY, FLORIDA PROBATE DIVISION File No. 532023CP0037910000XX Division Probate IN RE: ESTATE OF HAMID MOHAMMED Deceased. The administration of the estate of HAMID MOHAMMED deceased, whose date of death was 11/21/2022, is pending in the Circuit Court for POLK County, Florida, Probate Division, the address of which is 255 N. Broadway Ave., Bartow, FL 33830-3912. The names and addresses of the personal representative and the personal representative’s attorney are set forth below. All creditors of the decedent and other persons having claims or demands against decedent’s estate on whom a copy of this notice is required to be served must file their claims with this court ON OR BEFORE THE LATER OF 3 MONTHS AFTER THE TIME OF THE FIRST PUBLICATION OF THIS NOTICE OR 30 DAYS AFTER THE DATE OF SERVICE OF A COPY OF THIS NOTICE ON THEM. All other creditors of the decedent and other persons having claims or demands against decedent’s estate must file their claims with this court WITHIN 3 MONTHS AFTER THE DATE OF THE FIRST PUBLICATION OF THIS NOTICE. ALL CLAIMS NOT FILED WITHIN THE TIME PERIODS SET FORTH IN FLORIDA STATUTES SECTION 733.702 WILL BE FOREVER BARRED.

NOTWITHSTANDING THE TIME PERIODS SET FORTH ABOVE, ANY CLAIM FILED TWO (2) YEARS OR MORE AFTER THE DECEDENT’S DATE OF DEATH IS BARRED.

The date of first publication of this notice is June 14, 2024.

/s/ Lorraine Quadros

(May 29, 2024 15:35 EDT Lorraine Quadros

Petitioner

Address: 2559 Pennymoor Ct.

Herndon, VA 20171

Email Address: iamrainne1@yahoo.com

Phone Number: 7034025892

/s/ Sylvana Rosende

Attorney for Petitioner

Sylvana Rosende, Esq. FL Bar Number: 1025248

Address: 3785 NW 82nd Ave, Suite 117

Miami, FL 33166

Email Address: srosende@trustandwill.com

Phone Number: (786)205-5141

June 14, 21, 2024 24-00870K

SECOND INSERTION NOTICE TO CREDITORS IN THE CIRCUIT COURT FOR POLK COUNTY, FLORIDA PROBATE DIVISION File No. 24CP-1229 Division Probate IN RE: ESTATE OF WILLIAM T. TRIBBLE Deceased. The administration of the estate of William T. Tribble, deceased, whose date of death was February 12, 2024, is pending in the Circuit Court for Polk County, Florida, Probate Division, the address of which is Post Office Drawer 9000, Bartow, Florida 33830. The names and addresses of the personal representative and the personal representative’s attorney are set forth below. All creditors of the decedent and other persons having claims or demands against decedent’s estate on whom a copy of this notice is required to be served must file their claims with this court ON OR BEFORE THE LATER OF 3 MONTHS AFTER THE TIME OF THE FIRST PUBLICATION OF THIS NOTICE OR 30 DAYS AFTER THE DATE OF SERVICE OF A COPY OF THIS NOTICE ON THEM. All other creditors of the decedent and other persons having claims or demands against decedent’s estate must file their claims with this court WITHIN 3 MONTHS AFTER THE DATE OF THE FIRST PUBLICATION OF THIS NOTICE.

ALL CLAIMS NOT FILED WITHIN THE TIME PERIODS SET FORTH IN FLORIDA STATUTES SECTION 733.702 WILL BE FOREVER BARRED.

NOTWITHSTANDING THE TIME PERIODS SET FORTH ABOVE, ANY CLAIM FILED TWO (2) YEARS OR MORE AFTER THE DECEDENT’S DATE OF DEATH IS BARRED.

The date of first publication of this notice is June 14, 2024.

Personal Representative: /s/ Douglas McPherson Citizens Bank & Trust 1985 E. Edgewood Drive Lakeland, Florida 33823

Attorney for Personal Representative: /s/ Charlotte C. Stone Charlotte C. Stone, Esq. Florida Bar Number: 21297 Stone Law Group, P.L. 3200 US Hwy 27 S., Suite 201 Sebring, Florida 33870

Telephone: (863) 402-5424 Fax: (863) 402-5425 E-Mail: charlotte@stonelawgroupfl.com

Secondary E-Mail: tami@stonelawgroupfl.com June 14, 21, 2024 24-00874K

SECOND INSERTION NOTICE TO CREDITORS IN THE CIRCUIT COURT FOR POLK COUNTY, FLORIDA PROBATE DIVISION File No. 532024CP0016270000XX IN RE: ESTATE OF WILLIAM JOSEPH KELLOM, JR., Deceased. The administration of the estate of WILLIAM JOSEPH KELLOM, JR., deceased, whose date of death was March 15, 2024, and whose social security number is xxx-xx-3819, is pending in the Circuit Court for Polk County, Florida, Probate Division, the address of which is Polk County Courthouse, 255 N. Broadway, Bartow, FL 33830. The names and addresses of the personal representative and the personal representative’s attorney are set forth below.

All creditors of the decedent and other persons having claims or demands against decedent’s estate on whom a copy of this notice is required to be served must file their claims with this court WITHIN THE LATER OF 3 MONTHS AFTER THE TIME OF THE FIRST PUBLICATION OF THIS NOTICE OR 30 DAYS AFTER THE DATE OF SERVICE OF A COPY OF THIS NOTICE ON THEM. All other creditors of the decedent and other persons having claims or demands against decedent’s estate must file their claims with this court WITHIN 3 MONTHS AFTER THE DATE OF THE FIRST PUBLICATION OF THIS NOTICE.

ALL CLAIMS NOT FILED WITHIN THE TIME PERIODS SET FORTH IN SECTION 733.702 OF THE FLORIDA PROBATE CODE WILL BE FOREVER BARRED. NOTWITHSTANDING THE TIME PERIODS SET FORTH ABOVE, ANY CLAIM FILED TWO (2) YEARS OR MORE AFTER THE DECEDENT’S DATE OF DEATH IS BARRED. The date of first publication of this notice is June 14, 2024.

Personal Representative: HEATHER SUE KELLOM 4816 Kanoy Drive Lakeland, FL 33805

Attorney for Personal Representative: Jaimon H. Perry, Esq. Attorney for HEATHER SUE KELLOM Florida Bar Number: 0514020 THE PERRY LAW GROUP LLC 37 North Orange Avenue, Suite 500 Orlando, FL 32801

Telephone: (407) 323-2121

Fax: (321) 249-0587

E-Mail: jperry@perrylawfla.com June 14, 21, 2024 24-00872K

NOTICE OF ACTIONCONSTRUCTIVE SERVICE IN THE CIRCUIT COURT OF THE TENTH JUDICIAL CIRCUIT IN AND FOR POLK COUNTY, FLORIDA GENERAL JURISDICTION DIVISION CASE NO. 2024CA000730000000 LAKEVIEW LOAN SERVICING, LLC., Plaintiff, vs. KATELYN ADELIA MUNSON, et. al.

Defendant(s), TO: KATELYN ADELIA MUNSON, UNKNOWN SPOUSE OF KATELYN ADELIA MUNSON, whose residence is unknown and all parties having or claiming to have any right, title or interest in the property described in the mortgage being foreclosed herein. YOU ARE HEREBY NOTIFIED that an action to foreclose a mortgage on the following property: LOT 17, IN BLOCK A, OF MELODY HEIGHTS, LAKELAND, FLORIDA, ACCORDING TO THE MAP OR PLAT THEREOF RECORDED IN PLAT BOOK 39, PAGE 33, AS RECORDED IN THE PUBLIC RECORDS OF POLK COUNTY, FLORIDA. has been filed against you and you are required to serve a copy of your written defenses, if any, to it on counsel for Plaintiff, whose address is 6409 Congress Avenue, Suite 100, Boca Raton, Florida 33487 on or before 5-13-24/ (30 days from Date of First Publica-

NOTICE OF ACTION IN THE CIRCUIT COURT, TENTH JUDICIAL CIRCUIT, IN AND FOR POLK COUNTY, FLORIDA CASE NO.: 2024-CA-001502 RKS PROPERTIES, LLC, a Florida limited liability company, and RYAN SOWERS, an individual, Plaintiffs, vs. MINNIE PENDER CARTER, an individual; UNKNOWN HEIRS OF MINNIE PENDER CARTER; and UNKNOWN PERSONAL REPRESENTATIVE OF MINNIE PENDER CARTER, Defendants. TO: MINNIE PENDER CARTER, an individual; UNKNOWN HEIRS OF MINNIE PENDER CARTER; and UNKNOWN PERSONAL REPRESENTATIVE OF MINNIE PENDER CARTER (“Defendants”), and all unknown parties claiming by, through, under or against the above-named Defendants, who are not known to be dead or alive, whether said unknown parties claim as heirs, devisees, grantees, assignees, lienors, creditors, trustees, spouses, or other claimants Current Residences Unknown. YOU ARE NOTIFIED that an action to quiet title on the following property in Polk County, Florida, Lot 8, Block 4, Tier 4, SOUTH FLORIDA RAILROAD ADDITION, according to the plat thereof as recorded in Plat Book 1, Page 27, Public Records of Polk County, Florida. (the “Property”), has been filed against you and you are

tion of this Notice) and file the original with the clerk of this court either before service on Plaintiff’s attorney or immediately thereafter; otherwise a default will be entered against you for the relief demanded in the complaint or petition filed herein.

If you are a person with a disability who needs any accommodation in order to participate in this proceeding, you are entitled, at no cost to you, to the provision of certain assistance. Please contact the Office of the Court Administrator, 255 N. Broadway Avenue, Bartow, Florida 33830, (863) 534-4686, at least 7 days before your scheduled court appearance, or immediately upon receiving this notification if the time before the scheduled appearance is less than 7 days; if you are hearing or voice impaired, call 711.

THIS NOTICE SHALL BE PUBLISHED ONCE A WEEK FOR TWO (2) CONSECUTIVE WEEKS. WITNESS my hand and the seal of this Court at County, Florida, this 4 day of April, 2024.

Stacy M. Butterfield

CLERK OF THE CIRCUIT COURT (SEAL) BY: /s/Carolyn Mack DEPUTY CLERK

Robertson, Anschutz, Schneid, Crane & Partners PLLC 6409 Congress Ave., Suite 100 Boca Raton, FL 33487

PRIMARY EMAIL: flmail@raslg.com 23-171727

June 14, 21, 2024 24-00871K

required to serve a copy of your written defenses, if any, to it on Woolsey Morcom, PLLC, Plaintiff’s attorney, whose address is 203 Fort Wade Road, Suite 260, Ponte Vedra, Florida 32081, on or before 7-8-24 or within thirty (30) days after the first publication of this Notice of Action, and file the original with the Clerk of this Court, 255 N. Broadway Ave., Bartow, FL 33830-3912, either before service on Plaintiff’s attorney or immediately thereafter; otherwise, a default will be entered against you for the relief demanded in the complaint petition.

AMERICANS WITH DISABILITIES ACT (ADA) NOTICE: IN ACCORDANCE WITH THE AMERICANS WITH DISABILITIES ACT OF 1990 (ADA) PERSONS NEEDING A SPECIAL ACCOMMODATION TO PARTICIPATE IN THIS PROCEEDING SHOULD CONTACT THE COURT ADMINISTRATORS’ OFFICE, TELEPHONE: (904) 630-2564; OR, IF HEARING IMPAIRED, 1-800-9558771 (TTD); OR 1-800-955-8770 (V); VIA FLORIDA RELAY SERVICE. WITNESS my hand and seal of the Court on this 29 day of May, 2024. STACY M. BUTTERFIELD, CPA Clerk of the Circuit Court (SEAL) By: Lori Armijo Deputy Clerk Woolsey Morcom, PLLC, Plaintiff’s attorney, 203 Fort Wade Road, Suite 260, Ponte Vedra, Florida 32081 June 7, 14, 21, 28, 2024 24-00837K

THIRD INSERTION

NOTICE OF ACTION IN THE CIRCUIT COURT, IN AND FOR POLK COUNTY, FLORIDA CASE No.: 2024CA001234000000 JOHN RICHARD BROWN, Plaintiff, vs. ESTATE OF WILLIAM BATTLES, and all others claiming by, through and under ESTATE OF WILLIAM BATTLES, ESTATE OF ANNA BATTLES, and all others claiming by, through and under ESTATE OF ANNA BATTLES AND ESTATE OF TOM ROBINSON, and all others claiming by, through and under ESTATE OF TOM ROBINSON, Defendant, TO: ESTATE OF WILLIAM BATTLES, and all others claiming by, through and under ESTATE OF WILLIAM BATTLES, ESTATE OF ANNA BATTLES, and all others claiming by, through and under ESTATE OF ANNA BATTLES AND ESTATE OF TOM ROBINSON, and all others claiming by, through and under ESTATE OF TOM ROBINSON

YOU ARE NOTIFIED that an action to quiet the title on the following real property in Polk County, Florida:

Parcel 1: The South 76.1 feet of the East 185.0 feet of the North 1/2 of the South 2.5 acres of the North 5.0 acres of the West 1/2 of the East 1/2 of the NW 1/4 of the NE 1/4 of Section 9, Township 29 South, Range 27 East, Polk County, Florida; less the East 25.0 feet for roadway a/k/a Parcel ID: 27-29-09-000000-013740.

Parcel 2: The North 1/2 of the East 155.0 feet of the South 1/2 of the South 2.5 acres of the North 5.0 acres of the West 1/2 of the East 1/2 of the NW 1/4 of the NE 1/4 of Section 9, Township 29 South, Range 27 East, Polk County, Florida; less the East 25.0 feet for roadway a/k/a Parcel ID: 2729-09-000000-013800.

NOTICE OF ACTION IN THE COUNTY COURT OF THE TENTH JUDICIAL CIRCUIT IN AND FOR POLK COUNTY, FLORIDA CASE NO.: 2024CC001736000000

ALLY BANK, Plaintiff, VS. LATASHA L. POWELL; et al., Defendant(s). TO: Latasha L. Powell Last Known Residence: 4005 Shearwater St Lakeland, FL 33811 YOU ARE NOTIFIED that an action for Replevin of personal property and breach of contract damages on the following personal property in Polk County, Florida: 2019 Chevrolet Traverse, VIN IGNERGKW3KJ188765 has been filed against you and you are required to serve a copy of your written defenses, if any, to it on ALDRIDGE PITE, LLP, Plaintiff’s attorney, at 5300 West Atlantic Avenue Suite 303 Delray Beach, FL 33484, on or before June 24, 2024, and file the original with the clerk of this court either before service on Plaintiff’s attorney or immediately thereafter; otherwise a default will be

NOTICE OF FORECLOSURE SALE IN THE CIRCUIT COURT OF THE TENTH JUDICIAL CIRCUIT IN AND FOR POLK COUNTY, FLORIDA CASE NO.: 2021-CA-003302 PENNYMAC LOAN SERVICES, LLC, Plaintiff, v. UNKNOWN PERSONAL REPRESENTATIVE OF THE ESTATE OF JAMIE MICHELLE SPEARS, et al., Defendants.

NOTICE is hereby given that Stacy M. Butterfield, Clerk of the Circuit Court of Polk County, Florida, will on July 29, 2024, at 10:00 a.m. ET, via the online auction site at www.polk.realforeclose. com in accordance with Chapter 45, F.S., offer for sale and sell to the highest and best bidder for cash, the following described property situated in Polk County, Florida, to wit: Lot 7, Reva Heights Addition No. 1, according to the map or plat thereof, as recorded in Plat Book 49, Page(s) 50, of the Public Records of Polk County, Florida. Property Address: 4919 S Gachet Blvd, Lakeland, FL 33813 pursuant to the Final Judgment of Foreclosure entered in a case pending in said Court, the style and case number of which is set forth above.

Any person claiming an interest in the surplus from the sale, if any, other than the property owner as of the date of the Lis Pendens must file a claim

NOTICE OF FORECLOSURE SALE IN THE CIRCUIT COURT OF THE TENTH JUDICIAL CIRCUIT IN AND FOR POLK COUNTY, FLORIDA GENERAL JURISDICTION DIVISION

Parcel 3:

The South 1/2 of the East 155.0 feet of the South 1/2 of the South 2.5 acres of the North 5.0 acres of the West 1/2 of the East 1/2 of the NW 1/4 of the NE 1/4 of Section 9, Township 29 South, Range 27 East, Polk County, Florida; less the East 25.0 feet for roadway a/k/a Parcel ID: 2729-09-000000-013750. has been filed against you and you are required to serve a copy of your written defenses, if any, to it on Isaac Manzo, of Manzo & Associates, P.A., Plaintiff’s attorney, whose address is 4767 New Broad Street, Orlando, FL 32814, telephone number (407) 514-2692, on or before July 8, 2024, and file the original with the Clerk of this Court either before service on Plaintiff’s attorney or immediately thereafter; otherwise a default will be entered against you for the relief demanded in the Complaint or petition. If you are a person with a disability who needs any accommodation in order to participate in this proceeding, you are entitled, at no cost to you, to the provision of certain assistance. Please contact the Office of the Court Administrator, 255 N. Broadway Avenue, Bartow, Florida 33830, (863) 534-4686, at least 7 days before your scheduled court appearance, or immediately upon receiving this notification if the time before the scheduled appearance is less than 7 days; if you are hearing or voice impaired, call 711. Dated this 30 day of May 2024. Stacy M. Butterfield Clerk of the Circuit Court (SEAL) By: /s/ Carolyn Mack As Deputy Clerk Isaac Manzo, of Manzo & Associates, P.A., Plaintiff’s attorney, 4767 New Broad Street, Orlando, FL 32814, telephone number (407) 514-2692 June 7, 14, 21, 28, 2024 24-00821K

entered against you for the relief demanded in the complaint or petition. If you are a person with a disability who needs any accommodation in order to participate in this proceeding, you are entitled, at no cost to you, to the provision of certain assistance. Please contact the Office of the Court Administrator, 255 N. Broadway Avenue, Bartow, Florida 33830, (863) 534-4686, at least 7 days before your scheduled court appearance, or immediately upon receiving this notification if the time before the scheduled appearance is less than 7 days; if you are hearing or voice impaired, call 711. Dated on May 17, 2024. Stacy M. Butterfield As Clerk of the Court (SEAL) By: /s/Asuncion Nieves As Deputy Clerk ALDRIDGE PITE, LLP, Plaintiff’s attorney, 5300 West Atlantic Avenue Suite 303 Delray Beach, FL 33484 1693-182B Ref# 7874 May 31; June 7, 14, 21, 2024 24-00812K

before the clerk reports the surplus as unclaimed.

If the sale is set aside for any reason, the Purchaser at the sale shall be entitled only to a return of the deposit paid. The Purchaser shall have no further recourse against the Mortgagor, the Mortgagee or the Mortgagee’s attorney. If you are a person with a disability who needs any accommodation in order to participate in this proceeding, you are entitled, at no cost to you, to the provision of certain assistance. Please contact the Office of the Court Administrator, 255 N. Broadway Avenue, Bartow, Florida 33830, (863) 534-4686, at least 7 days before your scheduled court appearance, or immediately upon receiving this notification if the time before the scheduled appearance is less than 7 days; if you are hearing or voice impaired, call 711.

SUBMITTED on this 11th day of June, 2024.

TIFFANY & BOSCO, P.A. /s/ Kathryn I. Kasper, Esq. Anthony R. Smith, Esq. FL Bar #157147 Kathryn I. Kasper, Esq. FL Bar #621188 Attorneys for Plaintiff OF COUNSEL: Tiffany & Bosco, P.A. 1201 S. Orlando Ave, Suite 430 Winter Park, FL 32789 Telephone: (205) 930-5200

Facsimile: (407) 712-9201 June 14, 21, 2024 24-00884K

COUNTY, FLORIDA. TAX ID: 26-28--34-659500006001

Case No. 2024CA000060000000 Truist Bank, Plaintiff, vs. Connie Johnson, Defendant. NOTICE IS HEREBY GIVEN pursuant to the Final Judgment and/or Order Rescheduling Foreclosure Sale, entered in Case No. 2024CA000060000000 of the Circuit Court of the TENTH Judicial Circuit, in and for Polk County, Florida, wherein Truist Bank is the Plaintiff and Connie Johnson are the Defendants, that Stacy M. Butterfield, Polk County Clerk of Court will sell to the highest and best bidder for cash at, www.polk.realforeclose.com, beginning at 10:00 AM on the 11th day of July, 2024, the following described property as set forth in said Final Judgment, to wit: LOT 103, VALENCIA WOOD: THE WEST 40 FEET OF LOT 601 AND THE EAST 40 FEET OF LOT 600, ELOISE WOODS, EAST LAKE MARIAM UNIT, ACCORDING TO THE MAP OR PLAT THEREOF, AS RECORDED IN PLAT BOOK 19, PAGES 32 AND 32A, OF THE PUBLIC RECORDS OF POLK

Any person claiming an interest in the surplus from the sale, if any, other than the property owner as of the date of the lis pendens must file a claim before the clerk reports the surplus as unclaimed. If you are a person with a disability who needs any accommodation in order to participate in this proceeding, you are entitled, at no cost to you, to the provision of certain assistance. Please contact the Office of the Court Administrator, 255 N. Broadway Avenue, Bartow, Florida 33830, (863) 534-4686, at least 7 days before your scheduled court appearance, or immediately upon receiving this notification if the time before the scheduled appearance is less than 7 days; if you are hearing or voice impaired, call 711. Dated this 10th day of June, 2024. BROCK & SCOTT, PLLC Attorney for Plaintiff 2001 NW 64th St, Suite 130 Ft. Lauderdale, FL 33309 Phone: (954) 618-6955, ext. 4766 Fax: (954) 618-6954 FLCourtDocs@brockandscott.com By /s/Justin J. Kelley Justin J. Kelley, Esq. Florida Bar No. 32106 File # 23-F02372 June 14, 21, 2024 24-00877K

SECOND INSERTION

NOTICE OF PUBLIC SALE

The following personal property of KATHRYN TOMERA HORTON, UNKNOWN PARTY IN POSSESSION, FLORENCE R. MADGEY, if deceased any unknown heirs or assigns and JANINE MARIA MADGEY, if deceased any unknown heirs or assigns, will, on June 26, 2024, at 10:30 a.m., at 176 Valencia Drive, Lot #176, Winter Haven, Polk County, Florida 33884; be sold for cash to satisfy storage fees in accordance with Florida Statutes, Section 715.109: 1974 BARRI MOBILE HOME, VIN: 03Z033254S3683E, TITLE NO.: 0011790923 and all other personal property located therein

PREPARED BY: J. Matthew Bobo Lutz, Bobo & Telfair, P.A. 2 North Tamiami Trail, Suite 500 Sarasota, Florida 34236 June 14, 21, 2024 24-00862K --- PUBLIC SALES ---

JUNE 21 - JUNE 27, 2024 BUSINESS OBSERVER POLK COUNTY 20
THIRD INSERTION
SECOND INSERTION SECOND
SECOND
INSERTION
INSERTION
FOURTH INSERTION --- ACTIONS / SALES ---
--- ESTATE ---

Choices and Solutions

What Should Be Done

Left unchanged, Social Security and Medicare are bankrupting America. Here are practical ways to provide a social safety net for those who need it. Unfortunately, politicians don’t show the courage to cross that bridge.

Most of the present welfare programs should never have been enacted. If they had not been, many of the people now dependent on them would have become self-reliant individuals instead of wards of the state.

In the short run, that might have appeared cruel for some, leaving them no option to low-paying, unattractive work. But in the long run, it would have been far more humane. However, given that the welfare programs exist, they cannot simply be abolished overnight. We need some way to ease the transition from where we are to where we would like to be, of providing assistance to people now dependent on welfare while at the same time encouraging an orderly transfer of people from welfare rolls to payrolls.

Such a transitional program has been proposed that could enhance individual responsibility, end the present division of the nation into two classes, reduce both government spending and the present massive bureaucracy, and at the same time assure a safety net for every person in the country, so that no one need suffer dire distress.

Unfortunately, the enactment of such a program seems a utopian dream at present. Too many vested interests — ideological, political and financial — stand in the way.

Nonetheless, it seems worth outlining the major elements of such a program, not with any expectation that it will be adopted in the near future, but in order to provide a vision of the direction in which we should be moving, a vision that can guide incremental changes.

The program has two essential components: first, reform the present welfare system by replacing the ragbag of specific programs with a single comprehensive program of income supplements in cash — a negative income tax linked to the positive income tax; second, unwind Social Security while meeting present commitments and gradually requiring people to make their own arrangements for their own retirement.

Such a comprehensive reform would do more efficiently and humanely what our present welfare system does so inefficiently and inhumanely. It would provide an assured minimum to all persons in need regardless of the reasons for their need while doing as little harm as possible to their character, their independence or their incentive to better their own condition.

THE NEGATIVE INCOME TAX

The basic idea of a negative income tax is simple, once we penetrate the smoke screen that conceals the essential features of the positive income tax. Under the current positive income tax you are permitted to receive a certain amount of income without paying any tax. The exact amount depends on the size of your family, your age and on whether you itemize your deductions. This amount is composed of a number of elements — personal exemptions, low-income allowance, standard deduction (which has recently been relabeled the zero-bracket amount), the sum corresponding to the general tax credit, and for all we know still other items that have been added by the Rube Goldberg geniuses who have been having a field day with the personal income tax.

STEPS TO FIX ENTITLEMENTS

• Enact a “negative income tax.”

• Wind down Social Security

JUNE 21 - JUNE 27, 2024 BUSINESS OBSERVER POLK COUNTY 22
Yet, as Anderson says, “There is no way that the Congress, at least in the near future, is going to pass any kind of welfare reform that actually reduces payments for millions of welfare recipients.”

fect, the earnings would have been split between reducing the subsidy and raising the family’s income.

When the family’s earnings reached $7,200, the subsidy would have fallen to zero. That would have been the break-even point at which the family would have neither received a subsidy nor paid a tax. If earnings had gone still higher, the family would have started paying a tax.

We need not here go into administrative details — whether subsidies would be paid weekly, biweekly or monthly, how compliance would be checked and so on. It suffices to say that these questions have all been thoroughly explored; that detailed plans have been developed and submitted to Congress.

The negative income tax would be a satisfactory reform of our present welfare system only if it replaces the host of other specific programs that we now have. It would do more harm than good if it simply became another rag in the ragbag of welfare programs.

NEGATIVE TAX HELPS POOR

If it did replace them, the negative income tax would have enormous advantages. It is directed specifically at the problem of poverty. It gives help in the form most useful to the recipient, namely, cash.

It is general — it does not give help because the recipient is old or disabled or sick or lives in a particular area, or any of the other many specific features entitling people to benefits under current programs. It gives help because the recipient has a low income. It makes explicit the cost borne by taxpayers. Like any other measure to alleviate poverty, it reduces the incentive of people who are helped to help themselves.

However, if the subsidy rate is kept at a reasonable level, it does not eliminate that incentive entirely. An extra dollar earned always means more money available for spending.

To simplify the discussion, let us use the simpler British term of “personal allowances” to refer to this basic amount.

If your income exceeds your allowances, you pay a tax on the excess at rates that are graduated according to the size of the excess. Suppose your income is less than the allowances? Under the current system, those unused allowances in general are of no value. You simply pay no tax. If your income happened to equal your allowances in each of two succeeding years, you would pay no tax in either year. Suppose you had that same income for the two years together, but more than half was received the first year. You would have a positive taxable income, that is, income in excess of allowances for that year, and would pay tax on it. In the second year, you would have a negative taxable income, that is, your allowances would exceed your income but you would, in general, get no benefit from your unused allowances. You would end up paying more tax for the two years together than if the income had been split evenly.

With a negative income tax, you would receive from the government some fraction of the unused allowances. If the fraction you received was the same as the tax rate on the positive income, the total tax you paid in the two years would be the same regardless of how your income was divided between them.

When your income was above allowances, you would pay tax, the amount depending on the tax rates charged on various amounts of income. When your income was below allowances, you would receive a subsidy, the amount depending on the subsidy rates attributed to various amounts of unused allowances.

The negative income tax would allow for fluctuating income, as in our example, but that is not its main purpose. Its main purpose is rather to provide a straightforward means of assuring every family a minimum amount, while at the same time avoiding a massive bureaucracy, preserving a considerable measure of individual responsibility and retaining an incentive for individuals to work and earn enough to pay taxes instead of receiving a subsidy.

Consider a particular numerical example. In 1978, allowances amounted to $7,200 for a family of four, none above age 65. Suppose a negative income tax had been in existence with a subsidy rate of 50% of unused allowances. In that case, a family of four that had no income would have qualified for a subsidy of $3,600. If members of the family had found jobs and earned an income, the amount of the subsidy would have gone down, but the family’s total income — subsidy plus earnings — would have gone up. If earnings had been $1,000, the subsidy would have gone down to $3,100, and total income up to $4,100. In ef-

Equally important, the negative income tax would dispense with the vast bureaucracy that now administers the host of welfare programs. A negative income tax would fit directly into our current income tax system and could be administered along with it. It would reduce evasion under the current income tax since everyone would be required to file income tax forms. Some additional personnel might be required, but nothing like the number who are now employed to administer welfare programs.

By dispensing with the vast bureaucracy and integrating the subsidy system with the tax system, the negative income tax would eliminate the present demoralizing situation under which some people — the bureaucrats administering the programs — run other people’s lives. It would help to eliminate the present division of the population into two classes — those who pay and those who are supported on public funds. At reasonable breakeven levels and tax rates, it would be far less expensive than our present system.

There would still be need for personal assistance to some families who are unable for one reason or another to manage their own affairs. However, if the burden of income maintenance were handled by the negative income tax, that assistance could and would be provided by private charitable activities. We believe that one of the greatest costs of our present welfare system is that it not only undermines and destroys the family, but also poisons the springs of private charitable activity.

HOW TO FIX SOCIAL SECURITY

Where does Social Security fit into this beautiful, if politically unfeasible, dream?

The best solution in our view would be to combine the enactment of a negative income tax with winding down Social Security while living up to present obligations. The way to do that would be:

l. Repeal immediately the payroll tax.

2. Continue to pay all existing beneficiaries under Social Security the amounts that they are entitled to under current law.

3. Give every worker who has already earned coverage a claim to those retirement, disability and survivors benefits that his tax payments and earnings to date would entitle him to under current law, reduced by the present value of the reduction in his future taxes as a result of the repeal of the payroll tax. The worker could choose to take his benefits in the form of a future annuity or government bonds equal to the present value of the benefits to which he would be entitled.

4. Give every worker who has not yet earned coverage a capital sum (again in the form of bonds) equal to the accumulated value of the taxes that he or his employer has paid on his behalf.

5. Terminate any further accumulation of benefits, allowing individuals to provide for their own retirement as they wish.

6. Finance payments under items 2, 3 and 4 out of gen-

JUNE 21 - JUNE 27, 2024 BusinessObserverFL.com POLK COUNTY 23

eral tax funds plus the issuance of government bonds. This transition program does not add in any way to the true debt of the U.S. government. On the contrary, it reduces that debt by ending promises to future beneficiaries. It simply brings into the open obligations that are now hidden. It funds what is now unfunded.

These steps would enable most of the present Social Security administrative apparatus to be dismantled at once.

The winding down of Social Security would eliminate its present effect of discouraging employment and so would mean a larger national income currently. It would add to personal saving and so lead to a higher rate of capital formation and a more rapid rate of growth of income. It would stimulate the development and expansion of private pension plans and so add to the security of many workers.

WHAT IS POLITICALLY FEASIBLE?

This is a fine dream, but unfortunately it has no chance whatsoever of being enacted at present. Three presidents — Presidents Nixon, Ford and Carter — have considered or recommended a program induding elements of a negative income tax.

In each case, political pressures have led them to offer the program as an addition to many existing programs, rather than as a substitute for them. In each case, the subsidy rate was so high that the program gave little if any incentive to recipients to earn income.

These misshapen programs would have made the whole system worse, not better.

Despite our having been the first to have proposed a negative income tax as a replacement for our present welfare system, one of us testified before Congress against the version that President Nixon offered as the “Family Assistance Plan.”

The political obstacles to an acceptable negative income tax are of two related kinds. The more obvious is the existence of vested interests in present programs: the recipients of benefits, state and local officials who regard themselves as benefiting from the programs and, above all, the welfare bureaucracy that administers them. The less obvious obstacle is the conflict among the objectives that advocates of welfare reform, including existing vested interests, seek to achieve.

As Martin Anderson puts it in an excellent chapter on “The Impossibility of Radical Welfare Reform”:

“All radical welfare reform schemes have three basic parts that are politically sensitive to a high degree. The first is the basic benefit level provided, for example, to a family of four on welfare.

“The second is the degree to which the program affects the incentive of a person on welfare to find work or to earn more.

“The third is the additional cost to the taxpayers.

“To become a political reality, the plan must provide a decent level of support for those on welfare. It must contain strong incentives to work, and it must have a reasonable cost. And it must do all three at the same time.”

The conflict arises from the content given to “decent,” to “strong” and to “reasonable,” but especially to “decent.” If a “decent” level of support means that few if any current recipients are to receive less from the reformed program than they now do from the col1ection of programs available, then it is impossible to achieve all three objectives simultaneously, no matter how “strong” and “reasonable” are interpreted.

Yet, as Anderson says, “There is no way that the Congress, at least in the near future, is going to pass any kind of welfare reform that actually reduces payments for millions of welfare recipients.”

Consider the simple negative income tax that we introduced as an illustration in the preceding section: a break-even point for a family of four of $7,200, a subsidy rate of 50%, which means a payment of $3,600 to a family with no other source of support. A subsidy rate of 50% would give a tolerably strong incentive to work.

The cost would be far less than the cost of the present complex of programs.

However, the support level is politically unacceptable today. As Anderson says, “The typical welfare family of four in the United States now [early 1978] qualifies for about $6,000 in services and money every year. In higher paying states, like New York, a number of welfare families receive annual benefits ranging from $7,000 to $12,000 and more.”

Even the $6,000 “typical” figure requires a subsidy rate of 83.3% if the break-even point is kept at $7,200. Such a rate would both seriously undermine the incentive to work and add enormously to cost.

The subsidy rate could be reduced by making the break-even point higher, but that would add greatly to the cost. This is a vicious circle from which there is no escape.

So long as it is not politically feasible to reduce the payments to many persons who now receive high benefits from multiple current programs, Anderson is right: “There is no way to achieve all the politically necessary conditions for radical welfare reform at the same time.”

However, what is not politically feasible today may become politically feasible tomorrow. Political scientists and economists have had a miserable record in forecasting what will be politically feasible. Their forecasts have repeatedly been contradicted by experience.

Our great and revered teacher Frank H. Knight was fond of illustrating different forms of leadership with ducks that fly in a V with a leader in front. Every now and then, he would say, the ducks behind the leader would veer off in a different direction while the leader continued flying ahead. When the leader looked around and saw that no one was following, he would rush to get in front of the V again. That is one form of leadership — undoubtedly the most prevalent form in Washington.

While we accept the view that our proposals are not currently feasible politically, we have outlined them as fully as we have, not only as an ideal that can guide incremental reform, but also in the hope that they may, sooner or later, become politically feasible.

JUNE 21 - JUNE 27, 2024 BUSINESS OBSERVER POLK COUNTY 24

FIRST INSERTION

NOTICE UNDER FICTITIOUS NAME LAW

Pursuant to F.S. §865.09 NOTICE IS HEREBY GIVEN that the undersigned, desiring to engage in business under the fictitious name of SugarDolce, located at 10195 Ancora Cir Apt 2326, in the City of Orlando, County of Orange, State of FL, 32821, intends to register the said name with the Division of Corporations of the Florida Department of State, Tallahassee, Florida.

Dated this 10 of June, 2024. Sodefuex, LLC

ORANGE COUNTY LEGAL NOTICES

10195 Ancora Cir Apt 2326 Orlando, FL 32821 June 20, 2024 24-01920W FIRST INSERTION Notice Under Fictitious Name Law According to Florida Statute Number 865.09 NOTICE IS HEREBY GIVEN that the undersigned, desiring to engage in business under the Fictitious Name of The Backyard located at 8501 French Oak Dr in the City of Orlando, Orange County, FL 32835 intends to register the said name with the Division of Corporations of the Department of State, Tallahassee, Florida. Dated this 14th day of June, 2027. The BKYD, Inc. June 20, 2024 24-01919W

FIRST INSERTION

Notice Under Fictitious Name Law

According to Florida Statute Number 865.09

NOTICE IS HEREBY GIVEN that the undersigned, desiring to engage in business under the Fictitious Name of Griffin Feather located at 1317 Edgewater Dr #2743 in the City of Orlando, Orange County, FL 32804 intends to register the said name with the Division of Corporations of the Department of State, Tallahassee, Florida. Dated this 13th day of June, 2024. Jessica Rivera June 20, 2024 24-01918W

FICTITIOUS NAME NOTICE

Notice is hereby given that MATTHEW GANOVSKY, SEAN TODD MCNEALY, KEVIN SCOTT KIRBY, ABACUS SETTLEMENTS, LLC, JAY JACKSON, OWNERS, desiring to engage in business under the fictitious name of ABACUS LIFE located at 2101 PARK CENTER DRIVE, SUITE 250, ORLANDO FLORIDA 32835 intends to register the said name in ORANGE county with the Division of Corporations, Florida Department of State, pursuant to section 865.09 of the Florida Statutes. June 20, 2024 24-01940W

NOTICE OF PUBLIC SALE: Universal Towing & Recovery gives Notice of Lien and intent to sell these vehicles at 8:00 a.m. at 206 6th Street, Orlando, FL. 32824 pursuant to subsection 713.78 of the Florida Statutes. Universal Towing & Recovery reserves the right to accept or reject any and/or all bids.

1994 CHEV VIN# 2G1FP22S2R2189738

SALE DATE 7/12/2024

2022 HYUN VIN# KM8K62AB6NU800929

SALE DATE 7/25/2024

2004 DODG VIN# 1D7HA18D84J112127

SALE DATE 7/13/2024

VIN# 3GNAXKEV2NL292686 SALE DATE 7/30/2024

2022 VOLK VIN# WVWG87CD1NW147608

SALE DATE 7/30/2024

2005 FORD VIN# 1FTPW14575KB74331 SALE DATE 7/15/2024

2009 ACUR VIN# 19UUA86579A004216

SAVE TIME

2023 HOND VIN# 2HGFE2F50PH502167

Email your Legal Notice legal@businessobserverfl.com Deadline Wednesday at noon Friday Publication LV20906_V6

FIRST INSERTION

NOTICE OF PUBLIC SALE is hereby given that STEPP’S TOWING SERVICE, INC will have a sealed bid towing and storage auction pursuant to subsection 713.78 of the Florida Statutes beginning 9am on JULY 03, 2024 at 880 Thorpe Rd Orlando, FL. 32824 (Orange County), ending at close of business that day. Terms of sale are CASH, sales are AS IS, seller does not guarantee a title, ALL SALES ARE FINAL. STEPP’S TOWING SERVICE, INC. reserves the right to bid and accept or reject any/or all bids. Please note, parties claiming interest have a right to a hearing prior to the date of sale with the Clerk of the Court as reflected in the notice. Terms of bids are cash only. The owner has the right to recover possession of the vehicle without judicial proceedings as pursuant to Florida Statute Section 559.917. Any proceeds recovered from the sale of the vehicle over the amount of the lien will be deposited with the Clerk of the Court for disposition upon court order.

2004 New Flyer VIN 5FYD2GV124U027205

2016 REIT MAX VIN 1RNF53A24GR037715 2008 Pontiac G6 VIN 1G2ZG57B684200154 1995 Toyota Tercel

VIN JT2EL56DXS0077278 2020 Hyundai TRAILER VIN 3H3V532C5LR204400 2005 Cadillac CTS VIN 1G6DP567850167313 June 20, 2024 24-01916W

Grove Resort Community Development District (“District”) will hold a meeting on Tuesday, July 9, 2024, at 10:00 a.m. at 14501 Grove Resort Avenue, Winter Garden, FL, 34787. A copy of the agenda for the meeting can be obtained from the District Office at PFM Group Consulting LLC, 3501 Quadrangle Boulevard, Suite 270, Orlando, FL 32817 or by phone at (407) 7235900. Additionally, a copy of the agenda may be obtained at www.GroveResortCDD. com. The meeting is open to the public and will be conducted in accordance with the pertinent provisions of Florida Law for Community Development Districts. The meeting may be continued to a date, time, and place to be specified on the record at the meeting. There may be occasions when Board Supervisors or District Staff may participate by speaker telephone.

Pursuant to the Americans with Disabilities Act, any person requiring special accommodations to participate in these meetings is asked to advise the District Office at (407) 723-5930 at least forty-eight (48) hours prior to the meetings. If you are hearing or speech impaired, please contact the Florida Relay Service by dialing 7-1-1, or 1-800-955-8771 (TTY) / 1-800-955-8770 (Voice), for aid in contacting the District Office.

Any person who decides to appeal any decision made by the Board with respect to any matter considered at the meeting is advised that this same person will need a record of the proceedings and that accordingly, the person may need to ensure that a verbatim record of the proceedings is made, including the testimony and evidence upon which such appeal is to be based.

District Manager Jane Gaarlandt June 20, 2024 24-01921W

FIRST INSERTION NOTICE OF PUBLIC HEARING CITY OF WINTER GARDEN, FLORIDA

Notice is hereby given that the City of Winter Garden Planning and Zoning Board will, on July 1, 2024, at 6:30 p.m. or as soon after as possible, hold a public hearing in the City Commission Chambers located at 300 West Plant Street, Winter Garden, Florida in order to review the variance requests to Winter Garden Code of Ordinances Sec. 118-308(1)(c) for the property located at 1532 Mistflower Lane. If approved, this variance will allow a rear yard setback of 15 feet, in lieu of the minimum required 24 feet, in order to build a screened porch with aluminum roof. Copies of the proposed request may be inspected by the public between the hours of 8:00 a.m. and 5:00 p.m. Monday through Friday of each week, except for legal holidays, at the Planning & Zoning Division in City Hall, 300 West Plant Street, Winter Garden, Florida.

Any and all support or objections will be heard at this time. If no valid objections are presented to the contrary, consideration will be given for granting this request. Persons wishing to appeal any decision made by the Planning and Zoning Board at such hearing will need a record of the proceedings and for such purpose you may need to ensure that a verbatim record of the proceedings is made, which includes the testimony and evidence upon which the appeal is based. The City does not provide this verbatim record. Persons with disabilities needing special accommodations to participate in this public hearing should contact the City Clerk’s Office at (407) 6564111 at least 48 hours prior to the meeting. For more information, please call Shane Friedman at (407) 656-4111 ext. 2026. LOCATION MAP

NOTICE OF PUBLIC SALE

Notice is hereby given that on 7/5/2024 at 10:30 am, the following vehicle will be sold for towing & storage charges pursuant to F.S. 713.78: 2002 MERZ CLK CLASS #WDBLK70G92T125091 Notice is hereby given that on 7/8/2024 at 10:30 am, the following vehicle will be sold for towing & storage charges pursuant to F.S. 713.78: 2020 INFI Q50 #JN1EV7AP0LM205197 2008 HOND ACCORD #1HGCP26768A050224 Notice is hereby given that on 7/9/2024 at 10:30 am, the following vehicle will be sold for towing & storage charges pursuant to F.S. 713.78: 2002 HOND CIVIC #1HGES16562L056116 2020 HYUN KONA #KM8K12AA6LU425532 2020 TOYT CAMRY #4T1G11AK2LU953755 2014 BMW 5 SERIES #WBA5B1C58EDZ37107 2015 JEP WRANGLER

#1C4AJWAG7FL511860 2016 BUIC ENCORE #KL4CJASB7GB714764 2010 FORD EXPEDITION

#1FMJU1K57AEB68225 2014 JEEP COMPASS #1C4NJCBA9ED542515 2012 NISS SENTRA #3N1AB6AP8CL621137 2020 VOLK TIGUAN #3VV1B7AX1LM054588 2018 MERZ C-CLASS #55SWF4JB6JU254006 Notice is hereby given that on 7/12/2024 at 10:30 am, the following vehicle will be sold for towing & storage charges pursuant to F.S. 713.78: 2003 FORD RANGER #1FTYR44V43PB12964 2020 NISS ALTIMA #1N4BL4BV0LC211790 2001 TOYT COROLLA #2T1BR12E51C474322 Sale will be held at ABLE TOWING AND ROADSIDE LLC, 250 THORPE ROAD, ORLANDO, FL 32824. 407-866-3464. Lienor reserves the right to bid. June 20, 2024 24-01914W

NOTICE OF PUBLIC HEARING CITY OF WINTER GARDEN, FLORIDA

Notice is hereby given that the City of Winter Garden Planning and Zoning Board will, on July 1, 2024, at 6:30 p.m. or as soon after as possible, hold a public hearing in the City Commission Chambers located at 300 West Plant Street, Winter Garden, Florida in order to review the variance request to Winter Garden Code of Ordinance Section 118-396(2) a. and c. and Section 118-1387(e) for the property located at 200 E Newell Street. If approved, this variance will permit a reduction of the lot width at the building front setback line to 70 feet in lieu of 100 feet and a reduction in the lot size to approximately +/- 9,021 square feet in lieu of 10,000 square feet to permit a duplex house on the property and a minimum setback line for parking of 1 foot 6 inches from the side property line in lieu of 5 feet to permit a driveway with a turnaround area. Copies of the proposed request may be inspected by the public between the hours of 8:00 a.m. and 5:00 p.m. Monday through Friday of each week, except for legal holidays, at the Planning & Zoning Division in City Hall, 300 West Plant Street, Winter Garden, Florida. Any and all support or objections will be heard at this time. If no valid objections are presented to the contrary, consideration will be given for granting this request. Persons wishing to appeal any decision made by the Planning and Zoning Board at such hearing will need a record of the proceedings and for such purpose you may need to ensure that a verbatim record of the proceedings is made, which includes the testimony and evidence upon which the appeal is based. The City does not provide this verbatim record. Persons with disabilities needing special accommodations to participate in this public hearing should contact the City Clerk’s Office at (407) 6564111 at least 48 hours prior to the meeting. For more information, please call Yvonne Conatser at (407) 656-4111 ext. 2227. LOCATION MAP

24-01938W

SALE DATE 7/25/2024

2009 JEEP VIN# 1J4NT4FA7AD506286

SALE DATE 7/13/2024

2007 CHEV VIN# 1GCEK19J67Z542808

SALE DATE 7/13/2024

2012 NISS VIN# 1N4AL2AP6CN454222

SALE DATE 7/13/2024

2017 CHEV VIN# 1G1BE5SM1H7209427

SALE DATE 7/13/2024

2013 NISS VIN# JN8AS5MT4DW030917

SALE DATE 7/13/2024

2018 NISS VIN# 3N1AB7AP2JY328260 SALE DATE 7/13/2024

NISS VIN# 3N1AB7AP5GY268757

DATE 7/14/2024

June 20, 2024

is hereby given that the City of Winter Garden Planning and Zoning Board will, on July 1, 2024, at 6:30 p.m. or as soon after as

hearing in the City Commission Chambers located at 300

Winter Garden, Florida in order to review the variance requests to Winter Garden Code of Ordinances Sec. 118-308(1)(c) for the property located at 12537 Westfield Lakes Circle. If approved, this variance will allow a rear yard setback of five (5) feet, in lieu of the minimum required 77 feet, in order to build a rear two-story addition to a single-family home. Copies of the proposed request may be inspected by the public between the hours of 8:00 a.m. and 5:00 p.m. Monday through Friday of each week, except for legal holidays, at the Planning & Zoning Division in City Hall, 300 West Plant Street, Winter Garden, Florida. Any and all support or objections will be heard at this time. If no valid objections are presented to the contrary, consideration will be given for granting this request. Persons wishing to appeal any decision made by the Planning and Zoning Board at such hearing will need a record of the proceedings and for such purpose you may need to ensure that a verbatim record of the proceedings is made, which includes the testimony and evidence upon which the appeal is based. The City does not provide this verbatim record. Persons with disabilities needing special accommodations to participate in this public hearing should contact the City Clerk’s Office at (407) 6564111 at least 48 hours prior to the meeting. For more information, please call Shane Friedman at (407) 656-4111 ext. 2026. LOCATION MAP

PUBLIC NOTICES THURSDAY, JUNE 20, 2024 B SECTION Find your notices online at: OrangeObserver.com, FloridaPublicNotices.com and BusinessObserverFL.com
**Additional Public Notices may be accessed on OrangeObserver.com, BusinessObserverFL.com and the statewide legal notice website, FloridaPublicNotices.com** --- PUBLIC NOTICES ---
2016
SALE
2022 CHEV
SALE
2004
SALE
2001
SALE
SALE
1994
2015 CHEV VIN# 1G11C5SL8FF180343 SALE DATE 7/19/2024 2012 TOYT VIN# JTDZN3EU6C3154298 SALE DATE 7/19/2024 2018 NISS VIN# 3N6CM0KN4JK702811 SALE DATE 7/20/2024 2015 BMW VIN# WBA3B5G58FNS18363 SALE DATE 7/20/2024 2012 FORD VIN# 1FBSS3BL4CDA20801 SALE DATE 7/20/2024 1989 TOYOTA VIN# JT2ST66C9K7338178 SALE DATE 7/20/2024 June 20, 2024 24-01927W FIRST INSERTION NOTICE OF PUBLIC SALE: SLYS TOWING & RECOVERY gives notice that on 07/11/2024 at 10:00 AM the following vehicles(s) may be sold by public sale at 119 FIFTH ST, WINTER GARDEN, FL 34787 to satisfy the lien for the amount owed on each vehicle for any recovery, towing, or storage services charges and administrative fees allowed pursuant to Florida statute 713.78. JN8AS5MT2CW609936 2012 NISS 1N4AL3AP6DC298718 2013 NISS 5UXWX9C51G0D76798 2016 BMW 5N1AT2MV4HC851267 2017 NISS KNAGT4L37J5214715 2018 KIA 3C4NJDAN0RT115038 2024 JEEP June 20, 2024 24-01926W FIRST INSERTION NOTICE OF PUBLIC SALE: SLYS TOWING & RECOVERY gives notice that on 07/05/2024 at 10:00 AM the following vehicles(s) may be sold by public sale at 119 FIFTH ST, WINTER GARDEN, FL 34787 to satisfy the lien for the amount owed on each vehicle for any recovery, towing, or storage services charges and administrative fees allowed pursuant to Florida statute 713.78. 1GNDS13S232169340 2003 CHEV 1C3LN59L17X071139 2007 CHRY 5FNRL38627B070345 2007 HOND 5NPEB4AC7BH137782 2011 HYUN 5UXWX5C54CL717898 2012 BMW KMHGC4DF8CU206607 2012 HYUN WDDKK6FF0FF307150 2015 MERZ 5J6RW1H88HL002850 2017 HOND 1C4PJLDB8KD269691 2019 JEEP 5UXCR4C05L9B98663 2020 BMW WP1AA2A52PLB04102 2023 PORS 1HGCY1F31RA019291
FIRST INSERTION NOTICE
PUBLIC HEARING CITY
WINTER GARDEN, FLORIDA
June 20, 2024 24-01924W
DATE 7/15/2024
JAGU VIN# SAJEA51CX4WE02592
DATE 7/19/2024
STRN VIN# 1G8ZK52781Z269573
DATE 7/19/2024 2004 CADILLAC VIN# 1GYEE63A940176124
DATE 7/19/2024
FORD VIN# 1FTCR14X1RPA73740 SALE DATE 7/19/2024
2024 HOND 5YFB4MDE8RP082170 2024 TOYT June 20, 2024 24-01925W
OF
OF
Notice
possible, hold a public
West Plant Street,
June 20, 2024 24-01923W FIRST INSERTION NOTICE OF PUBLIC HEARING CITY OF WINTER GARDEN, FLORIDA Pursuant to the Florida Statutes, notice is hereby given that the City of Winter Garden Planning and Zoning Board will, on July 1, 2024 at 6:30 p.m. or as soon after as possible, hold a public hearing in the City Commission Chambers located at 300 West Plant Street, Winter Garden, Florida in order to review the variance request to the Winter Garden Code of Ordinances Sec. 118-1310(b), Sec. 118-1310(c)(2)(a) and Sec. 118-1615(2)&(3) for a property located at 422 N Woodland Street. If approved, this variance will allow a wall height of 11 feet in lieu of the 9 foot height maximum, a roof peak height of 13 feet in lieu of the 12 foot height maximum, as well as a side yard setback of 3 feet in lieu of the 10 foot minimum and a rear yard setback of 10 feet in lieu of the 26 foot minimum, in order to build a detached accessory structure/ RV cover. If approved, this variance will also allow a chicken coop height of 6.66 feet in lieu of the 6 foot height maximum and a rear yard setback of 3 feet in lieu of the 7.5 foot minimum. Copies of the proposed request may be inspected by the public between the hours of 8:00 a.m. and 5:00 p.m. Monday through Friday of each week, except for legal holidays, at the Planning & Zoning Division in City Hall, 300 West Plant Street, Winter Garden, Florida. Any and all support or objections will be heard at this time. If no valid objections are presented to the contrary, consideration will be given for granting this request. Persons wishing to appeal any decision made by the Planning and Zoning Board at such hearing will need a record of the proceedings and for such purpose you may need to ensure that a verbatim record of the proceedings is made, which includes the testimony and evidence upon which the appeal is based. The City does not provide this verbatim record. Persons with disabilities needing special accommodations to participate in this public hearing should contact the City Clerk’s Office at (407) 6564111 at least 48 hours prior to the meeting. For more information, please call Amber McDonald at (407) 656-4111 ext. 5427. Location Map June 20, 2024 24-01922W FIRST INSERTION Grove Resort Community Development District Notice
Board of Supervisors’ Meeting The
of
Board of Supervisors of the
FIRST INSERTION NOTICE OF PUBLIC HEARING CITY OF WINTER GARDEN, FLORIDA Notice is hereby given that the City of Winter Garden Planning and Zoning Board will, on July 1, 2024, at 6:30 p.m. or as soon after as possible, hold a public hearing in the City Commission Chambers located at 300 West Plant Street, Winter Garden, Florida in order to review the variance request to Winter Garden Code of Ordinance Section 118-308(1) c. for the property located at 410 Whipperwill Way. If approved, this variance will allow a sixteen (16) foot rear yard setback in lieu of the required 26 foot rear yard setback minimum to permit the construction of a covered lanai. Copies of the proposed request may be inspected by the public between the hours of 8:00 a.m. and 5:00 p.m. Monday through Friday of each week, except for legal holidays, at the Planning & Zoning Division in City Hall, 300 West Plant Street, Winter Garden, Florida. Any and all support or objections will be heard at this time. If no valid objections are presented to the contrary, consideration will be given for granting this request. Persons wishing to appeal any decision made by the Planning and Zoning Board at such hearing will need a record of the proceedings and for such purpose you may need to ensure that a verbatim record of the proceedings is made, which includes the testimony and evidence upon which the appeal is based. The City does not provide this verbatim record. Persons with disabilities needing special accommodations to participate in this public hearing should contact the City Clerk’s Office at (407) 6564111
least
hours
meeting.
June 20, 2024 24-01939W FIRST INSERTION
at
48
prior to the
For more information, please call Yvonne Conatser at (407) 656-4111 ext. 2227. LOCATION MAP
FIRST INSERTION FIRST
INSERTION

SALE DATE 07/11/2024, 8:00 AM

Located at 6690 E. Colonial Drive, Orlando FL 32807

2015 LEXUS JTHCF1D28F5026482 2012 CHEVROLET 1G1ZB5E07CF295146 2018 BMW WBA7F0C52JGM24063 2008 HONDA

JHMFA36248S008988 2008 ACURA JH4CL96908C004153 1997 MERCEDES-BENZ WDBJF55F9VJ029610

SALE DATE 07/12/2024, 8:00 AM

Located at 6690 E. Colonial Drive, Orlando FL 32807

2012 AUDI WA1CFAFP6CA012572 2020 FORD 1FDUF5GN1LEE49365

Located at: 4507 E. Wetherbee Rd, Orlando, FL 32824

2011 NISSAN JN1AZ4EH9BM554779 June 20, 2024 24-01913W

NOTICE OF CLAIM OF LIEN AND PROPOSED SALE OF A MOTOR VEHICLE DATE 06/10/2024 LIENOR (as registered by

VE-

FEES AND STORAGE CHARGES ACCRUED IN THE AMOUNT OF: $900.00. THE VEHICLE REPAIRS WERE AUTHORIZED BY MICHAEL KRANCI ON 01/23/2024. REPAIRS WERE COMPLETED ON 01/24/2024 AND OWNER/CUSTOMER WAS NOTIFIED ON 01/24/2024 THAT THE ABOVE VEHICLE REPAIRS WERE COMPLETE. ITEMIZED STATEMENT OF CHARGES: REPAIR COSTS $300.00 PLUS STORAGE CHARGES FOR 7 DAYS AT $50.00 PER DAY, PLUS ADMINISTRATIVE FEES (NOT EXCEED $250) $250.00. STORAGE FEE WILL CONTINUE TO ACCRUE AT A RATE OF $50.00 PER DAY. THE LIEN CLAIMED BY THE ABOVE NAMED LIENOR IS SUBJECT TO ENFORCEMENT PURSUANT TO SECTION 713.785, FLORIDA STATUTES AND UNLESS SAID MOTOR VEHICLE IS REDEEMED FROM SAID LIENOR BY PAYMENT AS ALLOWED BY LAW, THE ABOVE DESCRIBED MOTOR VEHICLE MAY BE SOLD TO SATISFY THE LIEN. IF THE MOTOR VEHICLE IS NOT REDEEMED AND THAT MOTOR VEHICLE REMAINS UNCLAIMED, OR CHARGES FOR REPAIR AND STORAGE REMAIN UNPAID, THE VEHICLE MAY BE SOLD AFTER 60 DAYS FREE OF ALL PRIOR LIENS WHATSOEVER, UN-

LESS OTHERWISE PROVIDED BY COURT ORDER. THE ABOVE DESIGNATED LIENOR PROPOSES TO SELL THE MOTOR VEHICLE AS FOLLOWS. PUBLIC SALE TO BE HELD AT 2555 N FORSYTH RD STE A ORLANDO, FL 32807-6463 COMMENCING AT 10:00 AM ON THE 12TH DAY OF JULY, 2024 STATEMENT OF OWNERS RIGHTS NOTICE THAT THE OWNER OF THE MOTOR VEHICLE HAS A RIGHT TO RECOVER POSSESSION OF THE MOTOR VEHICLE WITHOUT INSTITUTING JUDICIAL PROCEEDINGS BY POSTING A BOND IN ACCORDANCE WITH THE PROVISIONS OF FLORIDA STATUTE 559.917. NOTICE THAT THE OWNER OR LIENHOLDER OF THE MOTOR VEHICLE HAS A RIGHT TO RECOVER POSSESSION OF THE MOTOR VEHICLE WITHOUT INSTITUTING JUDICIAL PROCEEDINGS BY POSTING A BOND IN ACCORDANCE WITH THE PROVISIONS OF FLORIDA STATUE 559.917. NOTICE THAT ANY PROCEEDS FROM THE SALE OF THE MOTOR VEHICLE REMAINING AFTER PAYMENT OF THE AMOUNT CLAIMED TO BE DUE AND OWING TO THE LIENOR WILL BE DEPOSITED WITH THE CLERK OF THE CIRCUIT COURT FOR DISPOSITION UPON COURT ORDER PURSUANT TO SUBSECTION (6) OF FLORIDA STATUTE 713.585. NOTICE THAT THE LIENOR WILL MAKE THE VEHICLE AVAILABLE FOR INSPECTION DURING REGULAR BUSINESS HOURS WITHIN 3 BUSINESS DAYS AFTER RECEIVING A WRITTEN REQUEST TO INSPECT THE VEHICLE FROM A NOTICE RECIPIENT, WHO MAY PRESENT EITHER A COPY OF AN ELECTRONIC TITLE OR A PAPER TITLE AS EVIDENCE OF HIS OR HER INTEREST IN AND RIGHT TO INSPECT THE VEHICLE. NOTE: THE 60 DAY TIME FRAME THAT THE MOTOR VEHICLE MUST BE HELD DOES NOT INCLUDE THE DAY THE WORK WAS COMPLETED OR THE DAY OF SALE. THE NEWSPAPER AD MUST BE PLACED 15 DAYS PRIOR TO THE SCHEDULED DATE OF SALE, BUT THE 15 DAYS DO NOT INCLUDE THE DATE NOTICE WAS PLACED IN THE NEWSPAPER OR THE DATE OF SALE. ADDITIONALLY, IN NO EVENT, SHALL THE SALE BE LESS THAN 30 DAYS AFTER THE LIEN NOTICE WAS SENT BY CERTIFIED MAIL. MEHMET SOKMEN SIGNATURE OF LIENOR June 20, 2024 24-01911W

ORANGE COUNTY

FIRST INSERTION

NOTICE OF PUBLIC SALE

Notice is hereby given that on 07/08/2024, at 10:30 a.m., the following property will be sold at public auction pursuant to F.S. 715.109: A 1986 BARR mobile home bearing vehicle identification numbers FLFL2AF503309123 and FLFL2BF503309123 and all personal items located inside the mobile home. Last Tenant: Helen Conti, William Gonzalez, Estate of William Gonzalez , Estate of William Gonzalez c/o Anamarie G. Gonzalez, Heir, and Estate of William Gonzalez c/o Nicholas J. Gonzalez, Heir. Sale to be held at: Gulfstream Harbor, 4505 Old Goldenrod Road, Orlando, Florida 32822, 407-965-2836. June 20, 27, 2024 24-01941W

FIRST INSERTION

Notice Under Fictitious Name Law According to Florida Statute Number 865.09 NOTICE IS HEREBY GIVEN that the undersigned, desiring to engage in business under the Fictitious Name of Griffin Feather located at 1317 Edgewater Dr #2743 in the City of Orlando, Orange County, FL 32804 intends to register the said name with the Division of Corporations of the Department of State, Tallahassee, Florida. Dated this 13th day of June, 2024. Jessica Rivera June 20, 2024 24-01918W

NOTICE OF CLAIM OF LIEN AND PROPOSED SALE OF A MOTOR VEHICLE DATE 06/10/2024 LIENOR (as registered by the Dept of Agriculture): SHOP OWNER: MEHMET SOKMEN

2 WHEELS HEAVEN LLC 2555 N FORSYTH RD, STE A ORLANDO, FL 32807-6463

321-972-2960 MV LIC# MV89252 VEHICLE OWNER 1: THOMAS GAETANO DAPRILE 24673 NOVA LN PORT CHARLOTTE, FL 33980 BRYAN MEDINA 5745 STONEWALL JACKSON RD ORLANDO, FL 32807 YEAR 2018 MAKE HOND VIN JH2KE0337JK900021 THE VEHICLE DESCRIBED IS STORED AT THE FOLLOWING LOCATION: 2555 N FORSYTH RD STE A, ORLANDO, FL 32807 EACH OF YOU ARE HEREBY NOTIFIED THAT THE ABOVE NAMED LIENOR CLAIMS A LIEN PURSUANT TO SECTION 713.585, FLORIDA STATUTES ON THE ABOVE DESCRIBED MOTOR VEHICLE FOR REPAIRS, ADJUSTMENTS, MODIFICATION, ADMINISTRATIVE FEES AND STORAGE CHARGES ACCRUED IN THE AMOUNT OF: $1,600.00. THE VEHICLE REPAIRS WERE AUTHORIZED BY BRYAN MEDINA ON 09/12/2023. REPAIRS WERE COMPLETED ON 09/20/2023 AND OWNER/CUSTOMER WAS NOTIFIED ON 09/20/2023 THAT THE ABOVE VEHICLE REPAIRS WERE COMPLETE. ITEMIZED STATEMENT OF CHARGES: REPAIR COSTS $1,000.00 PLUS STORAGE CHARGES FOR 7 DAYS AT $50.00 PER DAY, PLUS ADMINISTRATIVE FEES (NOT EXCEED $250) $250.00. STORAGE FEE WILL CONTINUE TO ACCRUE AT A RATE OF $50.00 PER DAY. THE LIEN CLAIMED BY THE ABOVE NAMED LIENOR IS SUBJECT TO ENFORCEMENT PURSUANT TO SECTION 713.785, FLORIDA STATUTES AND UNLESS SAID MOTOR VEHICLE IS REDEEMED FROM SAID LIENOR BY PAYMENT AS ALLOWED BY LAW, THE ABOVE DESCRIBED MOTOR VEHICLE MAY BE SOLD TO SATISFY THE LIEN. IF THE MOTOR VEHICLE IS NOT REDEEMED AND THAT MOTOR VEHICLE REMAINS UNCLAIMED, OR CHARGES FOR REPAIR AND STORAGE REMAIN UNPAID, THE VEHICLE MAY BE SOLD AFTER 60 DAYS FREE OF ALL PRIOR LIENS WHATSOEVER, UN-

5NPEB4AC7BH137782 2011 HYUN 5UXWX5C54CL717898 2012 BMW KMHGC4DF8CU206607 2012 HYUN WDDKK6FF0FF307150 2015 MERZ 5J6RW1H88HL002850 2017 HOND 1C4PJLDB8KD269691 2019 JEEP 5UXCR4C05L9B98663 2020 BMW WP1AA2A52PLB04102 2023 PORS 1HGCY1F31RA019291 2024 HOND 5YFB4MDE8RP082170 2024 TOYT June 20, 2024 24-01925W

LESS OTHERWISE PROVIDED BY COURT ORDER. THE ABOVE DESIGNATED LIENOR PROPOSES TO SELL THE MOTOR VEHICLE AS FOLLOWS. PUBLIC SALE TO BE HELD AT 2555 N FORSYTH RD STE A ORLANDO, FL 32807-6463 COMMENCING AT 10:00 AM ON THE 12TH DAY OF JULY, 2024 STATEMENT OF OWNERS RIGHTS NOTICE THAT THE OWNER OF THE MOTOR VEHICLE HAS A RIGHT TO RECOVER POSSESSION OF THE MOTOR VEHICLE WITHOUT INSTITUTING JUDICIAL PROCEEDINGS BY POSTING A BOND IN ACCORDANCE WITH THE PROVISIONS OF FLORIDA STATUTE 559.917. NOTICE THAT THE OWNER OR LIENHOLDER OF THE MOTOR VEHICLE HAS A RIGHT TO RECOVER POSSESSION OF THE MOTOR VEHICLE WITHOUT INSTITUTING JUDICIAL PROCEEDINGS BY POSTING A BOND IN ACCORDANCE WITH THE PROVISIONS OF FLORIDA STATUE 559.917. NOTICE THAT ANY PROCEEDS FROM THE SALE OF THE MOTOR VEHICLE REMAINING AFTER PAYMENT OF THE AMOUNT CLAIMED TO BE DUE AND OWING TO THE LIENOR WILL BE DEPOSITED WITH THE CLERK OF THE CIRCUIT COURT FOR DISPOSITION UPON COURT ORDER PURSUANT TO SUBSECTION (6) OF FLORIDA STATUTE 713.585. NOTICE THAT THE LIENOR WILL MAKE THE VEHICLE AVAILABLE FOR INSPECTION DURING REGULAR BUSINESS HOURS WITHIN 3 BUSINESS DAYS AFTER RECEIVING A WRITTEN REQUEST TO INSPECT THE VEHICLE FROM A NOTICE RECIPIENT, WHO MAY PRESENT EITHER A COPY OF AN ELECTRONIC TITLE OR A PAPER TITLE AS EVIDENCE OF HIS OR HER INTEREST IN AND RIGHT TO INSPECT THE VEHICLE.

NOTE: THE 60 DAY TIME FRAME THAT THE MOTOR VEHICLE MUST BE HELD DOES NOT INCLUDE THE DAY THE WORK WAS COMPLETED OR THE DAY OF SALE. THE NEWSPAPER AD MUST BE PLACED 15 DAYS PRIOR TO THE SCHEDULED DATE OF SALE, BUT THE 15 DAYS

DO NOT INCLUDE THE DATE NOTICE WAS PLACED IN THE NEWSPAPER OR THE DATE OF SALE. ADDITIONALLY, IN NO EVENT, SHALL THE SALE BE LESS THAN 30 DAYS AFTER THE LIEN NOTICE WAS SENT BY CERTIFIED MAIL. MEHMET SOKMEN SIGNATURE OF LIENOR June 20, 2024 24-01912W

FIRST INSERTION

NOTICE UNDER FICTITIOUS NAME LAW Pursuant to F.S. §865.09 NOTICE IS HEREBY GIVEN that the undersigned, desiring to engage in business under the fictitious name of SugarDolce, located at 10195 Ancora Cir Apt 2326, in the City of Orlando, County of Orange, State of FL, 32821, intends to register the

name with the Division of Corporations of the Florida Department of State, Tallahassee, Florida. Dated this 10 of June, 2024. Sodefuex, LLC 10195 Ancora Cir Apt 2326 Orlando, FL 32821 June 20, 2024 24-01920W

FIRST INSERTION NOTICE OF PUBLIC SALE: SLYS TOWING & RECOVERY gives notice that on 07/11/2024 at 10:00 AM the following vehicles(s) may be sold by public sale at 119 FIFTH ST, WINTER GARDEN, FL 34787 to satisfy the lien for the amount owed on each vehicle for any recovery, towing, or storage services charges and administrative fees allowed pursuant to Florida statute 713.78. JN8AS5MT2CW609936 2012 NISS 1N4AL3AP6DC298718 2013 NISS 5UXWX9C51G0D76798 2016 BMW 5N1AT2MV4HC851267 2017 NISS KNAGT4L37J5214715 2018 KIA 3C4NJDAN0RT115038 2024 JEEP June 20, 2024 24-01926W

17/92 Maitland 407-900-9989 Lien Amt $8,630.15 39628 2022 Hyundai VIN#: KMHLM4AG3NU339822

Lienor: Offlease Orlando 8900 S US Hwy 17/92 Maitland 407-900-9989

Lien Amt $8,102.48

39629 2016 BMW VIN#: 5UXWX9C58G0D79052

Lienor: Offlease Orlando 8900 S US Hwy 17/92 Maitland 407-900-9989

Lien Amt $4,295.60

39630 2010 Lexus

VIN#: JTHBK1EG9A2363741

Lienor: Offlease Orlando 8900 S US Hwy 17/92 Maitland 407-900-9989

Lien Amt $3,667.25

39631 2018 Audi

VIN#: WA1LHAF70JD006465

Lienor: Offlease Orlando 8900 S US Hwy 17/92 Maitland 407-900-9989

Lien Amt $3,901.55

39632 2020 Audi

VIN#: WAUE1GFF1LA013990

Lienor: Offlease Orlando 8900 S US Hwy 17/92 Maitland 407-900-9989

Lien Amt $4,268.98

39633 2003 Honda

VIN#: 3HGCM56323G701012

Lienor: Offlease Orlando 8900 S US

Hwy 17/92 Maitland 407-900-9989

Lien Amt $3,901.55

39634 2016 Subaru

VIN#: JF2SJGVC9GH449188

Lienor: Offlease Orlando 8900 S US

Hwy 17/92 Maitland 407-900-9989

Lien Amt $4,013.38

39635 2008 Jeep

VIN#: 1J8GR48K88C215713

Lienor: Offlease Orlando 8900 S US Hwy 17/92 Maitland 407-900-9989

Lien Amt $3,267.88 June 20, 2024 24-01917W

Are there different types of legal notices?

Simply put, there are two basic types - Warning Notices and Accountability Notices.

Warning notices inform you when government, or a private party authorized by the government, is about to do something that may affect your life, liberty or pursuit of happiness. Warning notices typically are published more than once over a certain period. Accountability notices are designed to make sure citizens know details about their government. These notices generally are published one time, and are archived for everyone to see. Accountability is key to efficiency in government.

2B The West Orange Times Thursday, June 20, 2024
FIRST INSERTION Notice of Sale Pursuant to Florida Statute 713.585 F.S. United American Lien & Recovery as agent w/ power of attorney will sell the following vehicle(s) to the highest bidder; net proceeds deposited with the clerk of court; owner/lienholder has right to hearing and post bond; owner may redeem vehicle for cash sum of lien; all auctions held in reserve; Inspect 1 week prior @ lienor facility; cash or cashier check; any person interested ph (954) 563-1999 Sale date July 12th, 2024 @ 10:00 am 3411 NW 9th Ave Ft Lauderdale FL 33309 39625 2015 Chevrolet VIN#: KL8CB6S96FC794329 Lienor: All Transmission World 10938A E Colonial Dr Orlando 407-281-0042 Lien Amt $5,457.89 39626 2017 Jeep VIN#: 1C4RJFAG2HC668444
Classic Collision Orlando Supercenter 1111 E Landstreet Rd Orlando 407-857-5155 Lien Amt $1,065 39627 2005 Dodge VIN#: 1D7HA18N05S300869 Lienor: Offlease Orlando 8900
US Hwy
Lienor:
S
INSERTION
OF PUBLIC SALE H&A TOWING AND RECOVERY LLC gives notice that on 07/14/2024 at 9:00 AM the following vehicles(s) may be sold by public sale at 6548 E COLONIAL DR to satisfy the lien for the amount owed on each vehicle for any recovery, towing, or storage services charges and administrative fees allowed pursuant to Florida statute 713.78. 1FMCU03147KA91578 2007 FORD Escape June 20, 2024 24-01915W NOTICE OF PUBLIC SALE Pursuant to F.S. 713.78, Airport Towing Service will sell the following vehicles and/or vessels. Seller reserves the right to bid. Sold as is, no warranty. Seller guarantees no title, terms cash. Seller reserves the right to refuse any or all bids. SALE DATE 07/08/2024, 8:00 AM Located at 6690 E. Colonial Drive, Orlando FL 32807 2008 CHRYSLER 2C3KA43R58H186654 2013 MAZDA JM1BL1L35D1789290 2007 ACURA JH4CL96837C010065 2019 FORD 3FA6P0LU1KR124601 2007 TOYOTA 2T1KR32E57C632081 2016 TRAILER 5BTDH2322G2003926 2007 BMW WBAVS13587FX16551 1999 HONDA 1HGEJ6674XL001091 2009 HONDA JHMFA36239S007039
2010 FORD 3FAHP0HA8AR208551 1985 CRESTLINER BOAT NOR27890A090
FIRST
NOTICE
Located at: 4507 E. Wetherbee Rd, Orlando, FL 32824
1994 CHEVROLET 1GBKP37N6R3307633 1962 CADILLAC NO VIN
Agriculture): SHOP OWNER: MEHMET SOKMEN 2 WHEELS HEAVEN LLC 2555 N FORSYTH RD, STE A ORLANDO, FL 32807-6463 321-972-2960 MV LIC# MV89252 VEHICLE OWNER 1: BRETT DUNCAN ARQUETTE 4605 COURTNEY LEE CT ORLANDO, FL 32812-8148 MICHAEL KRANCI 9440 EMILY LOOP APT 103 ORLANDO, FL 32817 YEAR 1998 MAKE SUZI VIN JS1SH42A8W2100109
CLAIMS
PURSUANT
SECTION
FLORIDA
ABOVE
the Dept of
THE VEHICLE DESCRIBED IS STORED AT THE FOLLOWING LOCATION: 2555 N FORSYTH RD STE A, ORLANDO, FL 32807 EACH OF YOU ARE HEREBY NOTIFIED THAT THE ABOVE NAMED LIENOR
A LIEN
TO
713.585,
STATUTES ON THE
DESCRIBED MOTOR
HICLE FOR REPAIRS, ADJUSTMENTS, MODIFICATION, ADMINISTRATIVE
FIRST INSERTION FIRST INSERTION LV18237_V11 VIEW NOTICES ONLINE
Legals.Business ObserverFL.com
AT
To publish your legal notice Email: legal@ businessobserverfl.com OFFICIALCOURTHOUSEWEBSITES floridapublicnotices.com CHECK OUT YOUR LEGAL NOTICES MANATEE COUNTY manateeclerk.com SARASOTA COUNTY sarasotaclerk.com CHARLOTTE COUNTY charlotteclerk.com LEE COUNTY leeclerk.org COLLIER COUNTY collierclerk.com HILLSBOROUGH COUNTY hillsclerk.com PASCO COUNTY pascoclerk.com PINELLAS COUNTY pinellasclerk.org POLK COUNTY polkcountyclerk.net ORANGE COUNTY myorangeclerk.com LV20890_V26 FIRST INSERTION FIRST INSERTION NOTICE OF PUBLIC SALE: SLYS TOWING & RECOVERY gives notice that on 07/05/2024 at 10:00 AM the following vehicles(s) may be sold by public sale at 119 FIFTH ST, WINTER GARDEN, FL 34787 to satisfy the lien for the amount owed on each vehicle for any recovery, towing, or storage services charges and administrative fees allowed pursuant to Florida statute 713.78. 1GNDS13S232169340 2003 CHEV
2007 CHRY
2007 HOND
1C3LN59L17X071139
5FNRL38627B070345
said
---
---
PUBLIC NOTICES

NOTICE OF ACTION IN THE CIRCUIT COURT OF THE NINTH JUDICIAL CIRCUIT IN AND FOR ORANGE COUNTY, FLORIDA CIRCUIT CIVIL DIVISION

CASE NO.: 2024-CA-001781-O METROPOLITAN TOWER LIFE INSURANCE COMPANY, Plaintiff, v. HUNTER MANAGEMENT GROUP LLC, A WYOMING LIMITED LIABILITY COMPANY, et al., Defendants. TO: ZAKIYA SHANICE CHAMBERS-HUNTER Last Known Address: 651 W. Lyman

NOTICE OF FORECLOSURE SALE IN THE CIRCUIT COURT OF THE NINTH JUDICIAL CIRCUIT IN AND FOR ORANGE COUNTY, FLORIDA GENERAL JURISDICTION DIVISION Case No.

2023-CA-001259-O Mortgage Lenders Investment Trading Corporation d/b/a RP Funding formerly known as R P Funding, Inc., Plaintiff, vs. DANIEL SANTIAGO, et al., Defendants.

NOTICE IS HEREBY GIVEN pursuant to the Final Judgment and/or Order Rescheduling Foreclosure Sale, entered in Case No. 2023-CA-001259-O of the Circuit Court of the NINTH Judicial Circuit, in and for Orange County, Florida, wherein Mortgage Lenders Investment Trading Corporation d/b/a RP Funding formerly known as R P Funding, Inc. is the Plaintiff and DANIEL SANTIAGO; KAREN SANTIAGO are the Defendants, that Tiffany Russell, Orange County Clerk of Court will sell to the highest and best bidder for cash at, www.myorangeclerk.realforeclose. com, beginning at 11:00 AM on the 6th day of August, 2024, the following described property as set forth in said Final Judgment, to wit: LOT 11, BLOCK D, CONWAY ACRES, THIRD ADDITION, ACCORDING TO THE MAP OR PLAT THEREOF, AS RECORD-

Ave., Winter Park, FL 32789 UNKNOWN TENANT #1 UNKNOWN TENANT #2 Last Known Address: 10042 Ian St, Orlando, FL 32825 YOU ARE HEREBY NOTIFIED that an action to foreclosure a mortgage on the following property located in Orange County, Florida: LOT 100, ANDOVER LAKES - PHASE 3B, ACCORDING TO THE PLAT THEREOF, RECORDED IN PLAT BOOK 40, PAGE(S) 20, OF THE PUBLIC RECORDS OF ORANGE COUNTY, FLORIDA. including the buildings, appur-

ED IN PLAT BOOK Z, PAGE(S) 47, OF THE PUBLIC RECORDS OF ORANGE COUNTY, FLORIDA. TAX ID: 16-23-30-1640-04-110

Any person claiming an interest in the surplus from the sale, if any, other than the property owner as of the date of the lis pendens must file a claim before the clerk reports the surplus as unclaimed. If you are a person with a disability who needs any accommodation in order to participate in this proceeding, you are entitled, at no cost to you, to the provision of certain assistance. Please contact the ADA Coordinator, Human Resources, Orange County Courthouse, 425 N. Orange Avenue, Suite 510, Orlando, Florida, (407) 836-2303, at least 7 days before your scheduled court appearance, or immediately upon receiving this notification if the time before the scheduled appearance is less than 7 days; if you are hearing or voice impaired, call 711. Dated this 10th day of June, 2024. By /s/Justin J. Kelley Justin J. Kelley, Esq. Florida Bar No. 32106

BROCK & SCOTT, PLLC Attorney for Plaintiff 2001 NW 64th St, Suite 130 Ft. Lauderdale, FL 33309 Phone: (954) 618-6955, ext. 4766 Fax: (954) 618-6954 FLCourtDocs@brockandscott.com File # 20-F00659 June 13, 20, 2024 24-01870W

NOTICE OF SALE AS TO:

IN THE CIRCUIT COURT OF THE 9TH JUDICIAL CIRCUIT, IN AND FOR ORANGE COUNTY, FLORIDA CASE NO. 23-CA-017047-O #40

HOLIDAY INN CLUB VACATIONS INCORPORATED

Plaintiff, vs. KORAL ET AL., Defendant(s). COUNT DEFENDANTS WEEK /UNIT

I PETER MARK KORAL AND ANY AND ALL UNKNOWN HEIRS, DEVISEES AND OTHER CLAIMANTS OF PETER MARK KORAL 17/004052

III ERNESTO PERUSQUIA ZARAZUA 19/004239

IV JUAN MANUEL POSADA GOMEZ, ADRIANA MARIA RUBIO GUTIERREZ 28/005306

Notice is hereby given that on 7/10/24 at 11:00 a.m. Eastern time at www. myorangeclerk.realforeclose.com, Clerk of Court, Orange County, Florida, will offer for sale the above described UNIT/WEEKS of the following described real property: Orange Lake Country Club Villas I, a Condominium, together with an undivided interest in the common elements appurtenant thereto, according to the Declaration of Condominium thereof recorded in Official Records Book 3300, Page 2702 in the Public Records of Orange County, Florida, and all amendments thereto, the plat of which is recorded in Condominium Book 7, page 59, until 12:00 noon on the first Saturday 2061, at which date said estate shall terminate; TOGETHER with a remainder over in fee simple absolute as tenant in common with the other owners of all the unit weeks in the above described Condominium in the percentage interest established in the Declaration of Condominium.

TOGETHER with all of the tenements, hereditaments and appurtenances thereto belonging or in anywise appertaining.

The aforesaid sales will be made pursuant to the final judgments of foreclosure as to the above listed counts, respectively, in Civil Action No. 23-CA-017047-O #40.

Any person claiming an interest in the surplus from the sale, if any, other than the property owner as of the date of the lis pendens must file a claim within 1 year after the sale.

If you are a person with a disability who needs any accommodation in order to participate in this proceeding, you are entitled, at no cost to you, to the provision of certain assistance. Please contact the ADA Coordinator, Human Resources, Orange County Courthouse, 425 N. Orange Avenue, Suite 510, Orlando, FL, (407) 8362303, at least 7 days before your scheduled court appearance, or immediately upon receiving this notification if the time before the scheduled appearance is less than 7 days; if you are hearing or voice impaired, call 711.

DATED this 11th day of June, 2024. Jerry E. Aron, Esq. Attorney for Plaintiff Florida Bar No. 0236101

JERRY E. ARON, P.A 801 Northpoint Parkway, Suite 64 West Palm Beach, FL 33407 Telephone (561) 478-0511

jaron@aronlaw.com mevans@aronlaw.com June 13, 20, 2024 24-01890W

tenances, and fixture located thereon. Property Address: 10042 Ian Street, Orlando, FL 32825 (the “Property”). filed against you and you are required to serve a copy of your written defenses, if any, to it on HARRIS S. HOWARD, ESQ., of HOWARD LAW, Plaintiff’s attorney, whose address is 4755 Technology Way, Suite 104 Boca Raton,

NOTICE OF FORECLOSURE SALE IN THE CIRCUIT COURT OF THE NINTH JUDICIAL CIRCUIT IN AND FOR ORANGE COUNTY, FLORIDA GENERAL JURISDICTION DIVISION Case No. 2008-CA-004959-O US Bank National Association as Trustee, Plaintiff, vs. Jose Mendoza, et al., Defendants. NOTICE IS HEREBY GIVEN pursuant to the Final Judgment and/or Order Rescheduling Foreclosure Sale, entered in Case No. 2008-CA-004959-O of the Circuit Court of the NINTH Judicial Circuit, in and for Orange County, Florida, wherein US Bank National Association as Trustee is the Plaintiff and Jose Mendoza; Maria Hernandez; Bella Vista At Tivoli Woods Homeowners Association, Inc.; Tivoli Woods Service Association Inc; United States Of America; John Doe N/K/A Margarita Peerles; Jane Doe N/K/A Dianne Terry; Marinosci Law Group, PC are the Defendants, that Tiffany Russell, Orange County Clerk of Court will sell to the highest and best bidder for cash at, www.myorangeclerk.realforeclose.com, beginning at 11:00 AM on the 10th day of July, 2024, the following described property as set forth in said Final Judgment, to wit: LOT 92, OF BELLA VISTA AT TIVOLI WOODS (A REPLAT), ACCORDING TO THE PLAT THEREOF, AS RECORDED IN

NOTICE OF FORECLOSURE SALE

PURSUANT TO CHAPTER 45 IN THE CIRCUIT COURT OF THE NINTH JUDICIAL CIRCUIT IN AND FOR ORANGE COUNTY, FLORIDA CASE NO.: 2016-CA-011209-O U.S. BANK TRUST NATIONAL ASSOCIATION, NOT IN ITS INDIVIDUAL CAPACITY BUT SOLELY AS OWNER TRUSTEE FOR RCAF ACQUISITION TRUST, Plaintiff, VS DARRYL CULBRETH; ANY AND ALL UNKNOWN PARTIES CLAIMING BY, THROUGH, UNDER AND AGAINST THE HEREIN NAMED INDIVIDUAL DEFENDANT(S) WHO ARE NOT KNOWN TO BE DEAD OR ALIVE, WHETHER SAID UNKNOWN PARTIES MAY CLAIM AN INTEREST AS SPOUSES, HEIRS, DEVISEES, GRANTEES, OR OTHER CLAIMANTS Defendant(s). NOTICE IS HEREBY GIVEN that sale will be made pursuant to an Order or Final Judgment. Final Judgment was awarded on April 9, 2024 in Civil Case No. 2016-CA-011209-O, of the Circuit Court of the NINTH Judicial Circuit in and for Orange County, Florida, wherein, U.S. BANK TRUST NATIONAL ASSOCIATION, NOT IN ITS INDIVIDUAL CAPACITY BUT SOLELY AS OWNER TRUSTEE FOR RCAF ACQUISITION TRUST is the Plaintiff, and DARRYL CULBRETH; ANY AND ALL UNKNOWN PARTIES CLAIMING BY, THROUGH, UNDER AND AGAINST THE HEREIN NAMED INDIVIDUAL DEFENDANT(S) WHO ARE NOT KNOWN TO BE DEAD OR ALIVE, WHETHER SAID UNKNOWN PARTIES MAY CLAIM AN INTEREST AS SPOUSES, HEIRS, DEVISEES, GRANTEES, OR OTHER CLAIMANTS are Defendants.

The Clerk of the Court, Tiffany Moore Russell will sell to the highest bidder for cash at www.myorangeclerk. realforeclose.com on July 11, 2024 at 11:00:00 AM EST the following de-

PLAT BOOK 54, AT PAGE 67 THROUGH 71, INCLUSIVE, OF THE PUBLIC RECORDS OF ORANGE COUNTY, FLORIDA TAX ID: 18-23-31-1750-00920

Any person claiming an interest in the surplus from the sale, if any, other than the property owner as of the date of the lis pendens must file a claim before the clerk reports the surplus as unclaimed. If you are a person with a disability who needs any accommodation in order to participate in this proceeding, you are entitled, at no cost to you, to the provision of certain assistance. Please contact the ADA Coordinator, Human Resources, Orange County Courthouse, 425 N. Orange Avenue, Suite 510, Orlando, Florida, (407) 836-2303, at least 7 days before your scheduled court appearance, or immediately upon receiving this notification if the time before the scheduled appearance is less than 7 days; if you are hearing or voice impaired, call 711.

Dated this 11th day of June, 2024. By /s/Justin J. Kelley Justin J. Kelley, Esq. Florida Bar No. 32106

BROCK & SCOTT, PLLC

Attorney for Plaintiff 2001 NW 64th St, Suite 130 Ft. Lauderdale, FL 33309

Phone: (954) 618-6955, ext. 4766

Fax: (954) 618-6954

FLCourtDocs@brockandscott.com

File # 15-F10522 June 13, 20, 2024 24-01892W

scribed real property as set forth in said Final Judgment, to wit: LOT 72, PARK MANOR ESTATES SECTION 9, ACCORDING TO THE PLAT THEREOF AS RECORDED IN PLAT BOOK 3, PAGE 67, PUBLIC RECORDS OF ORANGE COUNTY, FLORIDA.

Any person claiming an interest in the surplus from the sale, if any, other than the property owner as of the date of the lis pendens must file a claim before the clerk reports the surplus as unclaimed. IMPORTANT AMERICANS WITH DISABILITIES ACT: AMERICANS WITH DISABILITIES ACT: If you are a person with a disability who needs any accommodation in order to participate in a court proceeding or event, you are entitled, at no cost to you, to the provision of certain assistance. Please contact Orange County, ADA Coordinator, Human Resources, Orange County Courthouse, 425 N. Orange Avenue, Suite 510, Orlando, Florida, (407) 836-2303, fax: 407-836-2204; and in Osceola County;: ADA Coordinator, Court Administration, Osceola County Courthouse, 2 Courthouse Square, Suite 6300, Kissimmee, FL 34741, (407) 742-2417, fax 407-835-5079, at least 7 days before your scheduled court appearance, or immediately upon receiving notification if the time before the scheduled court appearance is less than 7 days. If you are hearing or voice impaired, call 711 to reach the Telecommunications Relay Service. Dated this 7 day of June, 2024. By: Zachary Ullman FBN: 106751 Primary E-Mail: ServiceMail@aldridgepite.com ALDRIDGE PITE, LLP Attorney for Plaintiff 5300 West Atlantic Avenue Suite 303 Delray Beach, FL 33484 Telephone: 561-392-6391 Facsimile: 561-392-6965 1092-13312B June 13, 20, 2024 24-01862W

NOTICE OF FORECLOSURE SALE IN THE CIRCUIT COURT OF THE NINTH JUDICIAL CIRCUIT IN AND FOR ORANGE COUNTY, FLORIDA GENERAL JURISDICTION DIVISION CASE NO. 2018-CA-005118-O JPMORGAN CHASE BANK, NATIONAL ASSOCIATION, Plaintiff, vs. AMR T. GAWAD, et al. Defendant(s). NOTICE IS HEREBY GIVEN pursuant to a Final Judgment of Foreclosure dated MAY 09, 2019, and entered in 2018-CA-005118-O of the Circuit Court of the NINTH Judicial Circuit in and for Orange County, Florida, wherein JPMORGAN CHASE BANK, NATIONAL ASSOCIATION is the Plaintiff and AMR GAWAD; GHENA NASER A/K/A GHENA GASER; HARBOR ISLE SUBDIVISION HOMEOWNER’S ASSOCIATION, INC; DE LAGE LANDEN FINANCIAL SERVICES, INC are the Defendant(s). Tiffany Moore Russell as the Clerk of the Circuit Court will sell to the highest and best bidder for cash at www.myorangeclerk.realforeclose. com, at 11:00 AM, on JULY 9, 2024, the following described property as set forth in said Final Judgment, to wi: LOT 6, HARBOR ISLE, UNIT TWO, ACCORDING TO THE PLAT THEREOF RECORDED IN PLAT BOOK 35, PAGE 33, OF THE PUBLIC RECORDS OF ORANGE COUNTY, FLORIDA. Property Address: 3061 SEIGNEURY DR, WINDERMERE, FL 34786 Any person claiming an interest in the surplus from the sale, if any, other than the property owner as of the date of the lis pendens must file a claim in accordance with Florida Statutes, Section 45.031. IMPORTANT AMERICANS WITH DISABILITIES ACT. If you are a person with a disability who needs any accommodation in order

NOTICE OF FORECLOSURE SALE IN THE CIRCUIT COURT OF THE 9TH JUDICIAL CIRCUIT, IN AND FOR ORANGE COUNTY, FLORIDA CIVIL DIVISION CASE NO. 2021-CA-010187-O THE BANK OF NEW YORK MELLON, F/K/A, THE BANK OF NEW YORK AS TRUSTEE, ON BEHALF OF THE REGISTERED HOLDERS OF ALTERNATIVE LOAN TRUST 2005-66, MORTGAGE PASS-THROUGH CERTIFICATES, SERIES 2005-66, Plaintiff, vs. JORGE R. NODAL; DAISY V. NODAL; RIDGEMOORE HOMEOWNERS ASSOCIATION, INC.; MORTGAGE ELECTRONIC REGISTRATION SYSTEMS, INC., AS NOMINEE FOR COUNTRYWIDE HOME LOANS, INC.; UNKNOWN PERSON(S) IN POSSESSION OF THE SUBJECT PROPERTY, Defendant(s). NOTICE IS HEREBY GIVEN pursuant to a Final Judgment of Foreclosure filed May 7, 2024 and entered in Case No. 2021-CA-010187-O, of the Circuit Court of the 9th Judicial Circuit in and for ORANGE County, Florida, wherein THE BANK OF NEW YORK MELLON, F/K/A, THE BANK OF NEW YORK AS TRUSTEE, ON BEHALF OF THE REGISTERED HOLDERS OF ALTERNATIVE LOAN TRUST 2005-66, MORTGAGE PASS-THROUGH CERTIFICATES, SERIES 2005-66 is Plaintiff and JORGE R. NODAL; DAISY V. NODAL; UNKNOWN PERSON(S) IN POSSESSION OF THE SUBJECT PROPERTY; RIDGEMOORE HOMEOWNERS ASSOCIATION, INC.; MORTGAGE ELECTRONIC REGISTRATION SYSTEMS, INC., AS NOMINEE FOR COUNTRYWIDE HOME LOANS, INC.; are defendants. TIFFANY MOORE RUSSELL, the Clerk of the Circuit Court, will sell to the highest and best bidder for cash BY ELECTRONIC SALE AT:

NOTICE OF FORECLOSURE SALE

PURSUANT TO CHAPTER 45 IN THE CIRCUIT COURT OF THE NINTH JUDICIAL CIRCUIT IN AND FOR ORANGE COUNTY, FLORIDA CASE NO.: 2023-CA-013909-O BANK OF AMERICA, N.A, Plaintiff, VS RONALD EUGENE CODY; UNITED STATES OF AMERICA - DEPARTMENT OF HOUSING AND URBAN DEVELOPMENT; ANY AND ALL UNKNOWN PARTIES CLAIMING BY, THROUGH, UNDER AND AGAINST THE HEREIN NAMED INDIVIDUAL DEFENDANT(S) WHO ARE NOT KNOWN TO BE DEAD OR ALIVE, WHETHER SAID UNKNOWN PARTIES MAY CLAIM AN INTEREST AS SPOUSES, HEIRS, DEVISEES, GRANTEES, OR OTHER CLAIMANTS Defendant(s). NOTICE IS HEREBY GIVEN that sale will be made pursuant to an Order or Final Judgment. Final Judgment was awarded on March 21, 2024 in Civil Case No. 2023-CA-013909-O, of the Circuit Court of the Judicial Circuit in and for Orange County, Florida, wherein, BANK OF AMERICA, N.A is the Plaintiff, and RONALD EUGENE CODY; UNITED STATES OF AMERICA - DEPARTMENT OF HOUSING AND URBAN DEVELOPMENT; ANY AND ALL UNKNOWN PARTIES CLAIMING BY, THROUGH, UNDER AND AGAINST THE HEREIN NAMED INDIVIDUAL DEFENDANT(S) WHO ARE NOT KNOWN TO BE DEAD OR ALIVE, WHETHER SAID UNKNOWN PARTIES MAY CLAIM AN INTEREST AS SPOUSES, HEIRS, DEVISEES, GRANTEES, OR OTHER CLAIMANTS are Defendants. The Clerk of the Court, Tiffany Moore Russell will sell to the highest bidder for cash at www.myorangeclerk. realforeclose.com on July 10, 2024 at 11:00:00 AM EST the following de-

notice@kahaneandassociates.com File No.: 20-00024 SPS June 13, 20, 2024 24-01872W

6B The West Orange Times Thursday,
SUBSEQUENT
June 20, 2024 ORANGE COUNTY
INSERTIONS
to participate in a court proceeding or event, you are entitled, at no cost to you, to the provision of certain assistance. Please contact Orange County, ADA Coordinator, Human Resources, Orange County Courthouse, 425 N. Orange Avenue, Suite 510, Orlando, Florida, (407)
ADA
Administration,
Court-
Square, Suite
fax 407-8355079, at least 7 days before your scheduled court appearance, or immediately upon receiving notification if the time before the scheduled court appearance is less than 7 days. If you are hearing or voice impaired, call 711 to reach the Telecommunications Relay Service. Dated this 7 day of June, 2024. By: \S\ Danielle Salem Danielle Salem, Esquire Florida Bar No. 0058248 Communication Email: dsalem@raslg.com ROBERTSON, ANSCHUTZ, SCHNEID, CRANE & PARTNERS, PLLC Attorney for Plaintiff 6409 Congress Ave., Suite 100 Boca Raton, FL 33487 Telephone: 561-241-6901 Facsimile: 561-997-6909 Service Email: flmail@raslg.com 20-069216 - MaM June 13, 20, 2024 24-01875W
836-2303, fax: 407-8362204; and in Osceola County;:
Coordinator, Court
Osceola County Courthouse, 2
house
6300, Kissimmee, FL 34741, (407) 742-2417,
WWW.MYORANGECLERK. REALFORECLOSE.COM at 11:00 A.M., on July 9, 2024, the following described property as set forth in said Final Judgment, to wit: LOT 13, RIDGEMOORE PHASE 1, ACCORDING TO THE PLAT THEREOF, AS RECORDED IN PLAT BOOK 21, PAGE 73, OF THE PUBLIC RECORDS OF ORANGE COUNTY, FLORIDA. Any person claiming an interest in the surplus from the sale, if any, other than the property owner as of the date of the lis pendens must file a claim before the Clerk reports the surplus as unclaimed. This notice is provided pursuant to Administrative Order No. 2.065. In accordance with the American with Disabilities Act, if you are a person with a disability who needs any accommodation in order to participate in this proceeding, you are entitled, at no cost to you, to the provision of certain assistance. Please contact the ADA Coordinator, Human Resources, Orange County Courthouse, 425 N. Orange Avenue, Suite 510, Orlando, Florida, (407) 836-2303, at least 7 days before your scheduled Court Appearance, or immediately upon receiving this notification if the time before the scheduled appearance is less than 7 days; if you are hearing or voice impaired, call 711. Dated this 10th day of June 2024. Marc Granger, Esq. Bar. No.: 146870 Kahane & Associates, P.A. 1619 NW 136th Avenue, Suite D-220 Sunrise, Florida 33323 Telephone: (954) 382-3486 Telefacsimile: (954) 382-5380 Designated service email:
scribed real property as set forth in said Final Judgment, to wit: LOT 72, PARK MANOR ESTATES SECTION 9, ACCORDING TO THE PLAT THEREOF AS RECORDED IN PLAT BOOK 3, PAGE 67, PUBLIC RECORDS OF ORANGE COUNTY, FLORIDA. Any person claiming an interest in the surplus from the sale, if any, other than the property owner as of the date of the lis pendens must file a claim before the clerk reports the surplus as unclaimed. IMPORTANT AMERICANS WITH DISABILITIES ACT: AMERICANS WITH DISABILITIES ACT: If you are a person with a disability who needs any accommodation in order to participate in a court proceeding or event, you are entitled, at no cost to you, to the provision of certain assistance. Please contact Orange County, ADA Coordinator, Human Resources, Orange County Courthouse, 425 N. Orange Avenue, Suite 510, Orlando, Florida, (407) 836-2303, fax: 407-836-2204; and in Osceola County;: ADA Coordinator, Court Administration, Osceola County Courthouse, 2 Courthouse Square, Suite 6300, Kissimmee, FL 34741, (407) 742-2417, fax 407-835-5079, at least 7 days before your scheduled court appearance, or immediately upon receiving notification if the time before the scheduled court appearance is less than 7 days. If you are hearing or voice impaired, call 711 to reach the Telecommunications Relay Service. Dated this 7 day of June, 2024. By: Zachary Ullman FBN: 106751 Primary E-Mail: ServiceMail@aldridgepite.com ALDRIDGE PITE, LLP Attorney for Plaintiff 5300 West Atlantic Avenue Suite 303 Delray Beach, FL 33484 Telephone: 561-392-6391 Facsimile: 561-392-6965 1395-710B June 13, 20, 2024 24-01863W
first date
publication, 2024
later than 30
the date of the first publica-
this Notice of Action)
file
original
Clerk
this Court
service on Plaintiff’s
torney or immediately thereafter; otherwise a default will be entered against you for the relief demanded in the Complaint or petition filed herein. WITNESS my hand and seal of this Court at Orange County, Florida on this 7th day of June, 2024. ORANGE CLERK OF COURT ORANGE COUNTY CLERK OF COURT By: /s/ Lauren Scheidt Deputy Clerk Civil Division 425 N Orange Ave Room 350 Orlando, Florida 32801 June 13, 20, 2024 24-01871W manateeclerk.com sarasotaclerk.com charlotteclerk.com leeclerk.org collierclerk.com hillsclerk.com pascoclerk.com pinellasclerk.org polkcountyclerk.net myorangeclerk.com LV20890_V29 OFFICIAL COURTHOUSE WEBSITES Call 941-906-9386 or email legal@businessobserverfl.com • We offer an online payment portal for easy credit card payment • Service includes us e-filing your affidavit to the Clerk’s office on your behalf We publish all Public sale, Estate & Court-related notices LEGAL NOTICE PUBLISH YOUR and select the appropriate County name from the menu option LV20878_V20 SECOND INSERTION SECOND INSERTION SECOND INSERTION SECOND INSERTION SECOND INSERTION SECOND INSERTION SECOND INSERTION SECOND INSERTION --- ACTIONS / SALES ---
FL 33431 on or before 30 days from the
of
(no
days from
tion of
and
the
with the
of
either before
at-

NOTICE OF SALE AS TO: IN THE CIRCUIT COURT OF THE 9TH JUDICIAL CIRCUIT, IN AND FOR ORANGE COUNTY, FLORIDA CASE NO. 23-CA-015786-O #35

HOLIDAY INN CLUB VACATIONS INCORPORATED Plaintiff, vs. GONZALEZ TORRES ET AL., Defendant(s). COUNT DEFENDANTS WEEK /UNIT

I RENE RODRIGO GONZALEZ TORRES 6/087756

II ROBERT SCOTT GRIFFIN AND ANY AND ALL UNKNOWN HEIRS, DEVISEES AND OTHER CLAIMANTS OF ROBERT SCOTT GRIFFIN 1 EVEN/003743

III KATIA PEREIRA DE FREITAS, RUBENS DONIZETI GONCALVES 33/087665

IV JOHN RUKAVINA 46/003784

V PHILLIP ERIC MCDONALD SWANN 40 ODD/086514

VII FRANCISCO JAVIER TREJO SCHLOEGL, ILEANA ZARATE DE TREJO 8/086338

Notice is hereby given that on 7/3/24 at 11:00 a.m. Eastern time at www.myorangeclerk.realforeclose.com, Clerk of Court, Orange County, Florida, will offer for sale the above described UNIT/WEEKS of the following described real property: Orange Lake Country Club Villas III, a Condominium, together with an undivided interest in the common elements appurtenant thereto, according to the Declaration of Condominium thereof recorded in Official Records Book 5914 Page 1965 in the Public Records of Orange County, Florida, and all amendments thereto, the plat of which is recorded in Condominium Book 28, page 84-92, until 12:00 noon on the first Saturday 2071, at which date said estate shall terminate; TOGETHER with a remainder over in fee simple absolute as tenant in common with the other owners of all the unit weeks in the above described Condominium in the percentage interest established in the Declaration of Condominium.

TOGETHER with all of the tenements, hereditaments and appurtenances thereto belonging or in anywise appertaining.

The aforesaid sales will be made pursuant to the final judgments of foreclosure as to the above listed counts, respectively, in Civil Action No. 23-CA-015786-O #35. Any person claiming an interest in the surplus from the sale, if any, other than the property owner as of the date of the lis pendens must file a claim within 1 year after the sale.

If you are a person with a disability who needs any accommodation in order to participate in this proceeding, you are entitled, at no cost to you, to the provision of certain assistance. Please contact the ADA Coordinator, Human Resources, Orange County Courthouse, 425 N. Orange Avenue, Suite 510, Orlando, FL, (407) 8362303, at least 7 days before your scheduled court appearance, or immediately upon receiving this notification if the time before the scheduled appearance is less than 7 days; if you are hearing or voice impaired, call 711.

DATED this 7th day of June, 2024.

JERRY E. ARON, P.A

801 Northpoint Parkway, Suite 64 West Palm Beach, FL 33407 Telephone (561) 478-0511

Jerry E. Aron, Esq. Attorney for Plaintiff Florida Bar No. 0236101

jaron@aronlaw.com mevans@aronlaw.com June 13, 20, 2024 24-01864W

NOTICE OF SALE AS TO: IN THE CIRCUIT COURT OF THE 9TH JUDICIAL CIRCUIT, IN AND FOR ORANGE COUNTY, FLORIDA CASE NO. 23-CA-017049-O #37

HOLIDAY INN CLUB VACATIONS INCORPORATED

NOTICE OF FORECLOSURE SALE IN THE CIRCUIT COURT OF THE NINTH JUDICIAL CIRCUIT IN AND FOR ORANGE COUNTY, FLORIDA GENERAL JURISDICTION DIVISION Case No. 2023-CA-015615-O

Wells Fargo Bank, N.A., Plaintiff, vs. The Unknown Heirs, Devisees, Grantees, Assignees, Lienors, Creditors, Trustees, and all other parties claiming interest by, through, under or against the Estate of Catherine J. Wells a/k/a Catherine Wells, Deceased, et al., Defendants.

NOTICE IS HEREBY GIVEN pursuant to the Final Judgment and/or Order Rescheduling Foreclosure Sale, entered in Case No. 2023-CA-015615-O of the Circuit Court of the NINTH Judicial Circuit, in and for Orange County, Florida, wherein Wells Fargo Bank, N.A. is the Plaintiff and The Unknown Heirs, Devisees, Grantees, Assignees, Lienors, Creditors, Trustees, and all other parties claiming interest by, through, under or against the Estate of Catherine J. Wells a/k/a Catherine Wells, Deceased; Kenneth Leroy Johnson a/k/a Kenneth Johnson, as Personal Representative of the Estate of Catherine J. Wells a/k/a Catherine Wells, Deceased; Franklin Roosevelt Johnson a/k/a Franklin R. Johnson; Robert Lloyd Johnson a/k/a Robert L. Johnson a/k/a Robert Johnson; Marva J. Waddell a/k/a Marva Waddell; Kenneth Leroy Johnson a/k/a Kenneth Johnson; Jon Eric Ali Waddell a/k/a Jon Eric A. Waddell a/k/a Jon Eric Waddell a/k/a Jon E. Waddell; Stonebridge Place Community Association, Inc.; Horizons at Stonebridge Place Condominium Association, Inc. are the Defendants, that Tiffany Russell, Orange County Clerk of Court will sell to the highest and best bidder for cash at, www.myorangeclerk. realforeclose.com, beginning at 11:00 AM on the 9th day of July, 2024, the following described property as set forth in said Final Judgment, to wit: UNIT 107, BUILDING A3, PHASE 3, HORIZONS AT STONEBRIDGE PLACE, A CON-

Plaintiff, vs. ALVA ET AL., Defendant(s). COUNT DEFENDANTS WEEK /UNIT

I ADRIENNE D. ALVA, DANIEL J. DAVIS, MIRIAM ROTH AND ANY AND ALL UNKNOWN HEIRS, DEVISEES AND OTHER CLAIMANTS OF MIRIAM ROTH, 52/005214

II ROMEO DELUCA A/K/A ROMEO DELUCA, JR. AND ANY AND ALL UNKNOWN HEIRS, DEVISEES AND OTHER CLAIMANTS OF ROMEO DELUCA A/K/A ROMEO DELUCA, JR. 40/000305

III JAMES ROBERT HAUGE, TRUSTEE OF THE JAMES ROBERT HAUGE REVOCABLE LIVING TRUST DATED MARCH 9, 2017, AND ANY AND ALL SUCCESSOR TRUSTEES OF THE JAMES ROBERT HAUGE REVOCABLE LIVING TRUST DATED MARCH 9, 2017 11/003223

IV MARIA F MATHEWS, KEITH S. MATHEWS AND ANY AND ALL UNKNOWN HEIRS, DEVISEES, AND OTHER CLAIMANTS OF KEITH S. MATHEWS 42/003119

V CHARLES T. PRECHTL, ADRIENNE D. ALVA, MIRIAM ROTH AND ANY AND ALL UNKNOWN HEIRS, DEVISEES AND OTHER CLAIMANTS OF MIRIAM ROTH, ALLEN B. ROTH AND ANY AND ALL UNKNOWN HEIRS, DEVISEES AND OTHER CLAIMANTS OF ALLEN B. ROTH 53/005214

VI NEVILLE A. RUSSELL AND ANY AND ALL UNKNOWN HEIRS, DEVISEES AND OTHER CLAIMANTS OF NEVILLE A. RUSSELL, EMLYN E. RUSSELL AND ANY AND ALL UNKNOWN HEIRS, DEVISEES AND OTHER CLAIMANTS OF EMLYN E. RUSSELL 32/000105

VII RICHARD L. SERPONE, KATHLEEN B. SERPONE AND ANY AND ALL UNKNOWN HEIRS, DEVISEES AND OTHER CLAIMANTS OF KATHLEEN B. SERPONE 15/000446

VIII DAVID KENNETH TOWNES, CAROL S. TOWNES AND ANY AND ALL UNKNOWN HEIRS, DEVISEES AND OTHER CLAIMANTS OF CAROL S. TOWNES 12/005382

IX RANDY D. WILLIAMS AND ANY AND ALL UNKNOWN HEIRS, DEVISEES AND OTHER CLAIMANTS OF RANDY D. WILLIAMS, 28/000088

Notice is hereby given that on 7/10/24 at 11:00 a.m. Eastern time at www.myorangeclerk.realforeclose.com, Clerk of Court, Orange County, Florida, will offer for sale the above described UNIT/WEEKS of the following described real property: Orange Lake Country Club Villas I, a Condominium, together with an undivided interest in the common elements appurtenant thereto, according to the Declaration of Condominium thereof recorded in Official Records Book 3300, Page 2702 in the Public Records of Orange County, Florida, and all amendments thereto, the plat of which is recorded in Condominium Book 7, page 59, until 12:00 noon on the first Saturday 2061, at which date said estate shall terminate; TOGETHER with a remainder over in fee simple absolute as tenant in common with the other owners of all the unit weeks in the above described Condominium in the percentage interest established in the Declaration of Condominium.

TOGETHER with all of the tenements, hereditaments and appurtenances thereto belonging or in anywise appertaining. The aforesaid sales will be made pursuant to the final judgments of foreclosure as to the above listed counts, respectively, in Civil Action No. 23-CA-017049-O #37.

Any person claiming an interest in the surplus from the sale, if any, other than the property owner as of the date of the lis pendens must file a claim within 1 year after the sale.

If you are a person with a disability who needs any accommodation in order to participate in this proceeding, you are entitled, at no cost to you, to the provision of certain assistance. Please contact the ADA Coordinator, Human Resources, Orange County Courthouse, 425 N. Orange Avenue, Suite 510, Orlando, FL, (407) 836-2303, at least 7 days before your scheduled court appearance, or immediately upon receiving this notification if the time before the scheduled appearance is less than 7 days; if you are hearing or voice impaired, call 711.

DATED this 5th day of June, 2024

JERRY E. ARON, P.A 801 Northpoint Parkway, Suite 64 West Palm Beach, FL 33407 Telephone (561) 478-0511

Jerry E. Aron, Esq. Attorney for Plaintiff Florida Bar No. 0236101

jaron@aronlaw.com mevans@aronlaw.com June 13, 20, 2024 24-01845W

DOMINIUM, ACCORDING TO THE DECLARATION OF CONDOMINIUM, AND ALL ITS ATTACHMENTS AND AMENDMENTS, AS RECORDED IN OFFICIAL RECORDS BOOK 6685, PAGE 1246, AS AMENDED BY FIRST AMENDMENT TO DECLARATION AS RECORDED IN OFFICIAL RECORDS BOOK 6699, PAGE 4421, AS AMENDED BY AMENDMENT TO DECLARATION AS RECORDED IN OFFICIAL RECORDS BOOK 6699, PAGE 4430, ALL OF THE PUBLIC RECORDS OF ORANGE COUNTY, FLORIDA. TOGETHER WITH AN UNDIVIDED INTEREST IN THE COMMON ELEMENTS AND ALL APPURTENANCES HEREUNTO APPERTAINING AND SPECIFIED IN SAID CONDOMINIUM DECLARATION.

TAX ID: 01-23-28-3628-03-107

Any person claiming an interest in the surplus from the sale, if any, other than the property owner as of the date of the lis pendens must file a claim before the clerk reports the surplus as unclaimed.

If you are a person with a disability who needs any accommodation in order to participate in this proceeding, you are entitled, at no cost to you, to the provision of certain assistance. Please contact the ADA Coordinator, Human Resources, Orange County Courthouse, 425 N. Orange Avenue, Suite 510, Orlando, Florida, (407) 836-2303, at least 7 days before your scheduled court appearance, or immediately upon receiving this notification if the time before the scheduled appearance is less than 7 days; if you are hearing or voice impaired, call 711.

Dated this 6th day of June, 2024. By /s/Justin J. Kelley

Justin J. Kelley, Esq. Florida Bar No. 32106

BROCK & SCOTT, PLLC

Attorney for Plaintiff

2001 NW 64th St, Suite 130 Ft. Lauderdale, FL 33309

Phone: (954) 618-6955, ext. 4766

Fax: (954) 618-6954

FLCourtDocs@brockandscott.com

File # 23-F01537 June 13, 20, 2024 24-01846W

SECOND INSERTION NOTICE OF ACTION OF FORECLOSURE PROCEEDINGS-PROPERTY IN THE COUNTY COURT OF THE 9TH JUDICIAL CIRCUIT IN AND FOR ORANGE COUNTY, FLORIDA CASE: 2024-CC-006421 O MAUDEHELEN HOMEOWNERS ASSOCIATION, INC., a not-for-profit Florida corporation, Plaintiff, vs. MOHABIR NANDRAM; UNKNOWN SPOUSE OF MOHABIR NANDRAM; AND UNKNOWN TENANT(S), Defendant. TO: MOHABIR NANDRAM YOU ARE HEREBY NOTIFIED that an action has been commenced to foreclose a Claim of Lien on the following real property, lying and being and situated in Orange County, Florida, more particularly described as follows: Lot 181, of MAUDEHELEN SUBDIVISION PHASE 1, according to the Plat thereof as recorded in Plat Book 64, Page 83-86, in the Public Records of Orange County, Florida, and any subsequent amendments to the aforesaid. A/K/A 1948 Beardsley Drive, Apopka, FL 32703

This action has been filed against you and you are required to serve a copy of your written defense, if any, upon MANKIN

NOTICE OF SALE AS TO: IN THE CIRCUIT COURT OF THE 9TH JUDICIAL CIRCUIT, IN AND FOR ORANGE COUNTY, FLORIDA CASE NO. 23-CA-017043-O #40

HOLIDAY INN CLUB VACATIONS INCORPORATED

Plaintiff, vs. BEADY ET AL., Defendant(s). COUNT DEFENDANTS WEEK /UNIT

I EDWARD GEORGE BEADY, SABINE BEADY 16 ODD/005254

II CHRISTIAN NICHOLE BAPTIST A/K/A CHRISTIAN NICOLE BAPTIST AND ANY AND ALL UNKNOWN HEIRS, DEVISEES AND OTHER CLAIMANTS OF CHRISTIAN NICHOLE BAPTIST A/K/A CHRISTIAN NICOLE BAPTIST 52/53 EVEN/005229

III MAUREEN BRADY, PATRICK K. BRADY AND ANY AND ALL UNKNOWN HEIRS, DEVISEES AND OTHER CLAIMANTS OF PATRICK K. BRADY 16/081425

IV ALAN BRADFORD CARR, ABENA MENSAH-CARR 18/081525

V RICHARD L. DAVIS, JR. AND ANY AND ALL UNKNOWN HEIRS, DEVISEES AND OTHER CLAIMANTS OF RICHARD L. DAVIS, JR. 14/081302

VI RICHARD L. DAVIS, JR. AND ANY AND ALL UNKNOWN HEIRS, DEVISEES AND OTHER CLAIMANTS OF RICHARD L. DAVIS, JR. 13/081302

VII MARY ANDERSON PHEE HANNAH, DAVID HANNAH AND ANY AND ALL UNKNOWN HEIRS, DEVISEES AND OTHER CLAIMANTS OF DAVID HANNAH 12/082330AB

VIII MICHAEL J. MEENAGH, MARIE B. MEENAGH 10/081724

X ABID M. QURESHI 52/53/081604

XI LISA MARIE ZAWADZKI-SCHWARTZ, ERIK MATTHEW SCHWARTZ 17/081626

Notice is hereby given that on 7/10/24 at 11:00 a.m. Eastern time at www. myorangeclerk.realforeclose.com, Clerk of Court, Orange County, Florida, will offer for sale the above described UNIT/WEEKS of the following described real property: Orange Lake Country Club Villas IV, a Condominium, together with an undivided interest in the common elements appurtenant thereto, according to the Declaration of Condominium thereof recorded in Official Records Book 9040, Page 662 in the Public Records of Orange County, Florida, and all amendments thereto, the plat of which is recorded in Condominium Book 43, page 39, until 12:00 noon on the first Saturday 2071, at which date said estate shall terminate; TOGETHER with a remainder over in fee simple absolute as tenant in common with the other owners of all the unit weeks in the above described Condominium in the percentage interest established in the Declaration of Condominium.

TOGETHER with all of the tenements, hereditaments and appurtenances thereto belonging or in anywise appertaining.

The aforesaid sales will be made pursuant to the final judgments of foreclosure as to the above listed counts, respectively, in Civil Action No. 23-CA-017043-O #40.

Any person claiming an interest in the surplus from the sale, if any, other than the property owner as of the date of the lis pendens must file a claim within 1 year after the sale. If you are a person with a disability who needs any accommodation in order to participate in this proceeding, you are entitled, at no cost to you, to the provision of certain assistance. Please contact the ADA Coordinator, Human Resources, Orange County Courthouse, 425 N. Orange Avenue, Suite 510, Orlando, FL, (407) 8362303, at least 7 days before your scheduled court appearance, or immediately upon receiving this notification if the time before the scheduled appearance is less than 7 days; if you are hearing or voice impaired, call 711.

DATED this 11th day of June, 2024.

Jerry E. Aron, Esq. Attorney for Plaintiff Florida Bar No. 0236101

JERRY E. ARON, P.A 801 Northpoint Parkway, Suite 64 West Palm Beach, FL 33407 Telephone (561) 478-0511 jaron@aronlaw.com mevans@aronlaw.com June 13, 20, 2024 24-01891W

SECOND INSERTION NOTICE OF SALE IN THE CIRCUIT COURT OF THE NINTH JUDICIAL CIRCUIT IN AND FOR ORANGE COUNTY, FLORIDA CASE NO.: 2009-CA-030164-O BANK OF AMERICA, N.A., Plaintiff, vs. NAHIYA ROMANO; et al., Defendants. NOTICE IS HEREBY GIVEN pursuant to a Final Judgment of Foreclosure dated, March 8, 2019, entered in Civil Case No. 2009-CA-030164-O of the Circuit Court of the 9th

COUNTY, FLORIDA. CASE No. 2022-CA-005359-O BANK OF AMERICA, N.A., PLAINTIFF, VS. SARAH L. LAWRENCE A/K/A SARAH L. LAWRENCE, ET AL. DEFENDANT(S). NOTICE

realforeclose.com in accordance with Chapter 45, Florida Statutes for the following described property: THE LAND REFERRED TO IN THIS EXHIBIT IS LOCATED IN THE COUNTY OF ORANGE AND THE STATE OF FLORIDA IN DEED BOOK

Thursday, June 20, 2024 The West Orange Times 7B ORANGE COUNTY SUBSEQUENT INSERTIONS
Judicial Circuit in and for Orange County, Florida, wherein BANK OF AMERICA, N.A., is Plaintiff and NAHIYA ROMANO; et al., are Defendant(s). The Clerk, Tiffany Moore Russell, of the Circuit Court will sell to the highest bidder for cash, online at www.myorangeclerk. realforeclose.com at 11:00 A.M. o’clock a.m. on July 19, 2024, on the following described property as set forth in said Final Judgment, to wit: UNIT 18, BUILDING 11, VIZCAYA HEIGHTS CONDOMINIUM 7, A CONDOMINIUM ACCORDING TO THE DECLARATION OF CONDOMINIUM RECORDED IN OFFICIAL RECORDS BOOK 6094, PAGE 2377 AND DECLARATION RECORDED IN OFFICIAL RECORDS BOOK 8370, PAGE 774; FIRST AMENDMENT AS RECORDED IN OFFICIAL RECORDS BOOK 8434, PAGE 3041 AND ALL AMENDMENTS THERETO AS FILED IN THE PUBLIC RECORDS OF ORANGE COUNTY, FLORIDA, TOGETHER WITH AN UNDIVIDED INTEREST IN AND TO THE COMMON ELEMENTS APPURTENANT TO SAID UNIT AS SET FORTH IN THE DECLARATION OF CONDOMINIUM. Property Address: 8749 The Esplanade, #18, Orlando, Florida 32836 Any person claiming an interest in the surplus from the sale, if any, other than the property owner as of the date of the lis pendens must file a claim before the clerk reports the surplus as unclaimed. The Court, in its discretion, may enlarge the time of the sale. Notice of the changed time of sale shall be published as provided herein. DATED this 10th day of June 2024. BY: /s/ Matthew B. Leider MATTHEW B. LEIDER, ESQ. FLORIDA BAR NO. 84424 LAW OFFICES OF MANGANELLI, LEIDER & SAVIO, P.A. Attorneys for Plaintiff 1900 N.W. Corporate Blvd., Ste. 305W Boca Raton, FL 33431 Telephone: (561) 826-1740 Facsimile: (561) 826-1741 Email: service@mls-pa.com June 13, 20, 2024 24-01874W SECOND INSERTION NOTICE OF FORECLOSURE SALE IN THE CIRCUIT COURT OF THE NINTH JUDICIAL CIRCUIT, IN AND FOR ORANGE
IS HEREBY GIVEN pursuant to the Final Judgment of Foreclosure dated October 2, 2023 in the above action, the Orange County Clerk of Court will sell to the highest bidder for cash at Orange, Florida, on July 9, 2024, at 11:00 AM, at www.myorangeclerk.
6497 AT PAGE 6224 AND DESCRIBED AS FOLLOWS. LOT 15, DEAN`S LANDING AT SHEFFIELD FOREST PHASE ONE, ACCORDING TO THE PLAT THEREOF AS RECORDED IN PLAT BOOK 18, PAGES 46-47, OF THE PUBLIC RECORDS OF ORANGE COUNTY, FLORIDA. Any person claiming an interest in the surplus from the sale, if any, other than the property owner as of the date of the lis pendens must file a claim before the clerk reports the surplus as unclaimed. The Court, in its discretion, may enlarge the time of the sale. Notice of the changed time of sale shall be published as provided herein. If you are a person with a disability who needs any accommodation in order to participate in this proceeding, you are entitled, at no cost to you, to the provision of certain assistance. Please contact ADA Coordinator Orange County, Human Resources at 407-836-2303, fax 407-836-2204 or at ctadmd2@ ocnjcc.org, Orange County Courthouse, 425 N. Orange Avenue, Suite 510, Orlando, FL 32810 at least 7 days before your scheduled court appearance, or immediately upon receiving this notification if the time before the scheduled appearance is less than 7 days; if you are hearing or voice impaired, call 711. By: /s/ Timothy J. Landers Timothy J. Landers FBN 127154 Tromberg, Morris & Poulin, PLLC Attorney for Plaintiff 600 West Hillsboro Boulevard Suite 600 Deerfield Beach, FL 33441 Telephone #: 561-338-4101 Fax #: 561-338-4077 Email: eservice@tmppllc.com Our Case #: 22-000502 June 13, 20, 2024 24-01865W
is
Suite 212,
within thirty
days after
first publication
this notice
file the original with the clerk
this
either before service
Plain-
attorney or immediately thereafter; otherwise a default will be entered against you for the relief demanded in the Complaint. WITNESS my hand and seal of this Court on the 6TH day of JUNE, 2024. Tiffany Moore Russell Circuit and County Clerks As Clerk of the Court By: Sharon Bennette Deputy Clerk Civil Division 425 N. Orange Avenue Room 350 Orlando, Florida 32801 June 13, 20, 2024 24-01848W VIEW NOTICES ONLINE AT Legals.BusinessObserverFL.com Are there different types of legal notices? Simply put, there are two basic types - Warning Notices and Accountability Notices. Warning notices inform you when government, or a private party authorized by the government, is about to do something that may affect your life, liberty or pursuit of happiness. Warning notices typically are published more than once over a certain period. Accountability notices are designed to make sure citizens know details about their government. These notices generally are published one time, and are archived for everyone to see. Accountability is key to efficiency in government. To publish your legal notice email: legal@businessobserverfl.com LV18237_V30 SAVE TIME Email your Legal Notice legal@businessobserverfl.com Deadline Wednesday at noon Friday Publication LV20906_V6 SECOND INSERTION SECOND INSERTION SECOND INSERTION SECOND INSERTION --- ACTIONS / SALES ---
LAW GROUP, Attorneys for Plaintiff, whose address
2535 Landmark Drive,
Clearwater, FL 33761,
(30)
the
of
and
of
Court
on
tiff’s

--- ESTATE ---

SECOND INSERTION

The Winter Garden Police Department is intending to dispose of found/abandoned property & currency currently being held in the property room. Lawful owners who believe that the property belongs to them must appear at the Winter Garden Police Department, 251 W. Plant Street by [insert date]. When claiming any property, you must produce PHOTO ID as proof of identity along with a form of documentation proving ownership. Contact the Winter Garden Property and Evidence Room at 407-656-3636 ext. 2235 or visit the office Monday-Friday from 8:00am-5:00pm. Property NOT

SECOND INSERTION

NOTICE OF PUBLIC SALE PNG 6100, LLC gives notice and intent to sell, for nonpayment of storage fees per FL Statue 83.805-806 the following vehicles on 07/01/2024 at 8:30AM at 6100 S Semoran Blvd, Orlando, FL 32822. Said company reserves the right to accept or reject any and all bids.

2010 NISS VIN# 5N1AR1NB3AC603630 by Erika Simone O’neal & Professional Financial Services of Florida LLC at #Q18

2015 HYUN VIN# 5NPE34AF4FH057899 by Guillermo Thomas Randt & Exeter Finance at #N161 June 13, 20, 2024 24-01861W SECOND INSERTION LEGAL NOTICE NOTICE OF INTENDED DISPOSITION OF FOUND/ ABANDONED PROPERTY

SECOND INSERTION NOTICE TO CREDITORS IN THE CIRCUIT COURT FOR ORANGE COUNTY, FLORIDA PROBATE DIVISION File No. 2024-CP-001493-O Division: 02 IN RE: ESTATE OF JOAN LORETTA THIBAULT a/k/a JOAN L. THIBAULT Deceased. The administration of the estate of JOAN LORETTA THIBAULT a/k/a JOAN L. THIBAULT, deceased, whose date of death was March 18, 2024, is pending in the Circuit Comt for Orange County, Florida, Probate Division, the address of which is 425 N. Orange Avenue, Orlando, FL 32801. The names and addresses of the personal representative and the personal representative’s attorney are set forth below. All creditors of the decedent and other persons having claims or demands against decedent’s estate on whom a copy of this notice is required to be served must file their claims with this court ON OR BEFORE THE LATER OF 3 MONTHS AFTER THE TIME OF THE FIRST PUBLICATION OF THIS NOTICE OR 30 DAYS AFTER THE DATE OF SERVICE OF A COPY OF THIS NOTICE ON THEM.

All other creditors of the decedent and other persons having claims or demands against decedent’s estate must file their claims with this court WITHIN 3 MONTHS AFTER THE DATE OF THE FIRST PUBLICATION OF THIS NOTICE. ALL CLAIMS NOT FILED WITHIN THE TIME PERIODS SET FORTH IN FLORIDA STATUTES SECTION 733.702 WILL BE FOREVER BARRED. NOTWITHSTANDING THE TIME PERIODS SET FORTH ABOVE, ANY CLAIM FILED TWO (2) YEARS OR MORE AFTER THE DECEDENT’S DATE OF DEATH IS BARRED.

The date of first publication of this notice is June 13, 2024. Personal Representative: Drue Trevor Pautz 4206 Haverstraw Avenue Orlando, Florida 32812

Attorney for Personal Representative: Christian Fahrig, Esq.

Attorney for Petitioner

Florida Bar Number: 0095570

The Elder Law Center of Kirson & Fuller 1407 E. Robinson Street Orlando, FL 32081

Telephone: (407) 422--3017 Fax: (407) 849--1707 E-Mail: cfahirg@kirsonfuller.com

Secondary E-Mail: knasca@kirsonfuller.com June 13, 20, 2024 24-01850W

SECOND INSERTION NOTICE TO CREDITORS IN THE CIRCUIT COURT FOR ORANGE COUNTY, FLORIDA PROBATE DIVISION File No. 2024-CP-001858-O IN RE: ESTATE OF HOWARD OTTO HANSEN JR. a/k/a HOWARD O. HANSEN JR. a/k/a TOM HANSEN Deceased. The administration of the estate of Howard Otto Hansen Jr. a/k/a Howard O. Hansen Jr. a/k/a Tom Hansen, deceased, whose date of death was November 4, 2022, is pending in the Circuit Court for Orange County, Florida, Probate Division, the address of which is 425 N. Orange Ave, #340, Orlando, Florida 32801. The names and addresses of the personal representative and the personal representative’s attorney are set forth below. All creditors of the decedent and other persons having claims or demands against decedent’s estate on whom a copy of this notice is required to be served must file their claims with this court ON OR BEFORE THE LATER OF 3 MONTHS AFTER THE TIME OF THE FIRST PUBLICATION OF THIS NOTICE OR 30 DAYS AFTER THE DATE OF SERVICE OF A COPY OF THIS NOTICE ON THEM. All other creditors of the decedent and other persons having claims or demands against decedent’s estate must file their claims with this court WITHIN 3 MONTHS AFTER THE DATE OF THE FIRST PUBLICATION OF THIS NOTICE.

ALL CLAIMS NOT FILED WITHIN THE TIME PERIODS SET FORTH IN FLORIDA STATUTES SECTION 733.702 WILL BE FOREVER BARRED. NOTWITHSTANDING THE TIME PERIODS SET FORTH ABOVE, ANY CLAIM FILED TWO (2) YEARS OR MORE AFTER THE DECEDENT’S DATE OF DEATH IS BARRED. The date of first publication of this notice is June 13, 2024.

Personal Representative: Charlotte A. Hansen 10547 Willow Ridge Loop Orlando, FL 32825-5096

Attorney for Personal Representative: Nicole S. Peet, Attorney Florida Bar No.: 1025612 Farr Law Firm, PA 99 Nesbit Street Punta Gorda, FL 33950 Telephone: (941)639-1158 Fax: (941)639-0028 E-Mail: npeet@farr.com Secondary E-Mail: msleeper@farr.com and probate@farr.com June 13, 20, 2024 24-01868W

SECOND INSERTION NOTICE TO CREDITORS IN THE CIRCUIT COURT FOR ORANGE COUNTY, FLORIDA PROBATE DIVISION File No. 2024-CP-001651-O Division: 02 IN RE: ESTATE OF JOHN PAUL BRASKETT Deceased.

The administration of the estate of John Paul Braskett, deceased, whose date of death was April 4, 2024, is pending in the Circuit Court for Orange County, Florida, Probate Division, the address of which is 425 N Orange Ave # 340, Orlando, FL 32801. The names and addresses of the personal representative and the personal representative’s attorney are set forth below. All creditors of the Decedent and other persons having claims or demands against Decedent’s estate on whom a copy of this notice is required to be served must file their claims with this court ON OR BEFORE THE LATER OF 3 MONTHS AFTER THE TIME OF THE FIRST PUBLICATION OF THIS NOTICE OR 30 DAYS AFTER THE DATE OF SERVICE OF A COPY OF THIS NOTICE ON THEM.

All other creditors of the decedent and other persons having claims or demands against Decedent’s estate must file their claims with this court WITHIN 3 MONTHS AFTER THE DATE OF THE FIRST PUBLICATION OF THIS NOTICE.

ALL CLAIMS NOT FILED WITHIN THE TIME PERIODS SET FORTH IN FLORIDA STATUTES SECTION 733.702 WILL BE FOREVER BARRED. NOTWITHSTANDING THE TIME PERIODS SET FORTH ABOVE, ANY CLAIM FILED TWO (2) YEARS OR MORE AFTER THE DECEDENT’S DATE OF DEATH IS BARRED. The date of first publication of this notice is June 13, 2024.

Personal Representative: Steven Blumer 14147 Sunriver Ave. Orlando, FL 32828

Attorney for Personal Representative: /s/ Jeanette Mora

Beth Roland

Florida Bar Number: 103764

Jeanette Mora

Florida Bar Number: 296735

Family First Firm 1030 West Canton Avenue, Suite 102 Winter Park, Florida 32789

Telephone: (407) 574-8125

Fax: (407) 476-1101

E-Mail: jeanette.mora@fff.law

Secondary E-Mail: probate@familyfirstfirm.com June 13, 20, 2024 24-01849W

SECOND INSERTION NOTICE TO CREDITORS (Summary Administration) IN THE CIRCUIT COURT FOR ORANGE COUNTY, FLORIDA PROBATE DIVISION File No. 2024-CP-001855-O In Re The Estate Of: PIERCE FERGUSON, Deceased.

A Petition for Summary Administration of the Estate of PIERCE FERGUSON, deceased, File Number 2024-CP-001855-O, has commenced in the Probate Division of the Circuit Court, Orange County, Florida, the address of which is 425 N. Orange Avenue, Suite 355, Orlando, FL 32801. The names and addresses of the Petitioner and the Petitioner’s attorney are set forth below. All creditors of the decedent, and other persons having claims or demands against the decedent’s estate on whom a copy of this notice has been served must file their claims with this Court at the address set forth above WITHIN THE LATER OF THREE MONTHS AFTER THE DATE OF THE FIRST PUBLICATION OF THIS NOTICE AS SET FORTH BELOW OR THIRTY DAYS AFTER THE DATE OF SERVICE OF A COPY OF THIS NOTICE ON SUCH CREDITOR.

All other creditors or persons having claims or demands against decedent’s estate on whom a copy of this notice has not been served must file their claims with this Court at the address set forth above WITHIN THREE MONTHS AFTER THE DATE OF THE FIRST PUBLICATION OF THIS NOTICE AS SET FORTH BELOW. ALL CLAIMS AND DEMANDS NOT FILED WITHIN THE TIME PERIODS SET FORTH IN SECTION 733.702 OF THE FLORIDA PROBATE CODE WILL BE FOREVER BARRED. NOTWITHSTANDING THE TIME PERIODS SET FORTH ABOVE, ANY CLAIM FILED TWO (2) YEARS OR MORE AFTER THE DECEDENT’S DATE OF DEATH IS BARRED.

The date of the first publication of this notice is June 13, 2024. Petitioner: NANCY SUE MORRIS 1019 Thoresby Drive Foley, AL 36535 Attorney for Petitioner: CLAIRE J. HILLIARD

C.J. Hilliard Law, P.A. Post Office Box 771268 Winter Garden, FL 34777-1268 (407) 656-1576 E-mail: claire@cjhilliardlaw.com Florida Bar Number: 1019723 June 13, 20, 2024 24-01867W

SECOND INSERTION

NOTICE TO CREDITORS IN THE CIRCUIT COURT FOR ORANGE COUNTY, FLORIDA PROBATE DIVISION File No.: 2022-CP-003441-O IN RE: ESTATE OF LUZ M. CANCEL Deceased.

The administration of the estate of Luz M. Cancel, deceased, whose date of death was July 23, 2022, is pending in the Circuit Court for Palm Beach County, Florida, Probate Division, the address of which is 425 N Orange Ave, Orlando, FL 32801. The names and addresses of the personal representative and the personal representative’s attorney are set forth below. All creditors of the decedent and other persons having claims or demands against decedent’s estate on whom a copy of this notice is required to be served must file their claims with this court ON OR BEFORE THE LATER OF 3 MONTHS AFTER THE TIME OF THE FIRST PUBLICATION OF THIS NOTICE OR 30 DAYS AFTER THE DATE OF SERVICE OF A COPY OF THIS NOTICE ON THEM. All other creditors of the decedent and other persons having claims or demands against decedent’s estate must file their claims with this court WITHIN 3 MONTHS AFTER THE DATE OF THE FIRST PUBLICATION OF THIS NOTICE. ALL CLAIMS NOT FILED WITHIN THE TIME PERIODS SET FORTH IN FLORIDA STATUTES SECTION 733.702 WILL BE FOREVER BARRED. NOTWITHSTANDING THE TIME PERIODS SET FORTH ABOVE, ANY CLAIM FILED TWO (2) YEARS OR MORE AFTER THE DECEDENT’S DATE OF DEATH IS BARRED. The date of first publication of this notice

NOTICE TO CREDITORS IN THE CIRCUIT COURT OF THE NINTH JUDICIAL CIRCUIT IN AND FOR ORANGE COUNTY, FLORIDA PROBATE DIVISION FILE NO.: 2024-CP-001650-O DIVISION: 2 IN RE: ESTATE OF VANESSA DARIANA TORRES, Deceased. The administration of the Estate of Vanessa Dariana Torres, deceased, whose date of death was May 5, 2022, is pending in the Circuit Court for Orange County, Florida, Probate Division, the address of which is 425 N. Orange Ave., Suite 355, Orlando, FL 32801. The names and addresses of the personal representative and the personal representative’s attorney are set forth below. All creditors of the Decedent and other persons having claims or demands against Decedent’s estate on whom a copy of this notice is required to be served must file their claims with this court WITHIN THE LATER OF 3 MONTHS AFTER THE TIME OF THE FIRST PUBLICATION OF THIS NOTICE OR 30 DAYS AFTER THE DATE OF SERVICE OF A COPY OF THIS NOTICE ON THEM. All other creditors of the Decedent and other persons having claims or demands against Decedent’s estate must file their claims with this court WITHIN 3 MONTHS AFTER THE DATE OF THE FIRST PUBLICATION OF THIS NOTICE. ALL CLAIMS NOT FILED WITHIN THE TIME PERIODS SET FORTH IN SECTION 733.702 OF THE FLORIDA PROBATE CODE WILL BE FOREVER BARRED. NOTWITHSTANDING THE TIME PERIODS SET FORTH ABOVE, ANY CLAIM FILED TWO (2) YEARS OR MORE AFTER THE DECEDENT’S DATE OF DEATH IS BARRED. The date of first publication of this notice is June 13, 2024. Personal Representative Rosa Huaracha Sanchez c/o: Bennett Jacobs & Adams, P.A. Post Office Box 3300 Tampa, Florida 33601

Attorney for Personal Representative: Linda Muralt, Esquire Florida Bar No.: 0031129 Bennett Jacobs & Adams, P.A. Post Office Box 3300 Tampa, Florida 33601 Telephone: (813) 272-1400

Facsimile: (866) 844-4703

LMuralt@bja-law.com

SECOND INSERTION NOTICE OF FORECLOSURE SALE IN THE CIRCUIT COURT OF THE 9TH JUDICIAL CIRCUIT IN AND FOR ORANGE COUNTY, FLORIDA GENERAL JURISDICTION DIVISION CASE NO.: 2023-CA-013917-O NG SOLUTIONS, LLC, an Ohio limited liability company, Plaintiff, vs. THOMAS P. PALIN III, UNKNOWN SPOUSE OF THOMAS P. PALIN, III, AVIS RENT-A-CAR SYSTEM, LLC, a Delaware limited liability company, ARBOR RIDGE HOMEOWNERS’ ASSOCIATION OF APOPKA, INC., a Florida not for profit corporation and UNKNOWN TENANT IN POSSESSION, Defendants. NOTICE IS HEREBY GIVEN pursuant to the Summary Final Judgment of Foreclosure dated June 7, 2024, entered in Case No. 2023-CA-013917-O of the Circuit Court of the 9th Judicial Circuit in and for Orange County, Florida, the Clerk, Tiffany Moore Russell, will sell to the highest and best bidder for cash at https://myorangeclerk.realforeclose. com, at 11:00 a.m. on the 15th day of July, 2024, the following described property as set forth in said Summary Final Judgment of Foreclosure, to-wit: Lot 327, of ARBOR RIDGE PHASE 4, according to the plat thereof as recorded in Plat Book 72, Pages 31 through 36, of the Public Records of Orange County, Florida.

Any person claiming an interest in the surplus from the sale, if any, other than the property owner as of the date of the lis pendens, must file a claim before the clerk reports the surplus as unclaimed. The Court, in its discretion, may enlarge the time of the sale. Notice of the changed time of sale shall be published as provided herein.

Dated this 10th day of June, 2024. /s/ Jason E. Slatkin By Richard B. Storfer Florida Bar No. 984523 rstorfer@loriumlaw.com Jason E. Slatkin Florida Bar No. 040370 jslatkin@loriumlaw.com

Lorium Law Attorney for Plaintiff 101 NE Third Avenue, Suite 1800 Ft. Lauderdale, FL 33301 Tel: (954) 462 8000 Fax: (954) 462 4300 June 13, 20, 2024 24-01873W

8B The West Orange Times Thursday, June 20, 2024 ORANGE COUNTY SUBSEQUENT INSERTIONS THIRD INSERTION NOTICE OF ACTION FOR PUBLICATION IN THE CIRCUIT COURT OF THE NINTH JUDICIAL CIRCUIT, IN AND FOR ORANGE COUNTY, FLORIDA Case No.: 2023-DR-6412 IN RE: THE MARRIAGE OF: DAVID PELIAIAH MACCOMISKEY, Petitioner, and CARRIE LIONNA SMITH, Respondent. TO: CARRIE LIONNA SMITH Legal Description: Last Known Address: 1901 N. Atlantic Avenue, Unit #4, Daytona Beach, FL 32118 YOU ARE HEREBY NOTIFIED that an action for Dissolution of Marriage has been filed against you and that you are required to serve a copy of your written defenses, if any, to it on Irene B. Pons, Esquire, attorney for Petitioner, whose address is 3564 Avalon Park Blvd., E., Ste. 1 #124, Orlando, Florida 32828 on or before 3/14/2024 , and file the original with the Orange County Clerk of Court, 425 N. Orange Avenue, Orlando, Florida, before service on Petitioner or immediately thereafter. If you fail to do so, a default may be entered against you for the relief demanded in the petition. Copies of all court documents in this case, including orders, are available at the Clerk of the Circuit Court’s office. You may review these documents upon request. You must keep the Clerk of the Circuit Court’s office notified of your current address. (You may file Notice of Current Address, Florida Supreme Court Approved Family Law Form 12.915.) Future papers in this lawsuit will be mailed to the address on record at the clerk’s office. WARNING: Rule 12.285, Florida Family Law Rules of Procedure, requires certain automatic disclosure of documents and information. Failure to comply can result in sanctions, including dismissal or striking of pleadings. DATED: 1/25/2024 TIFFANY MOORE RUSSELL CLERK OF THE CIRCUIT COURT By: /S/ JUAN VAZQUEZ DEPUTY CLERK 425 North Orange Ave. Suite 320 Orlando, Florida 32801 June 6,, 13, 20, 27, 2024 24-01812W
is
13, 2024. Personal Representative: Lourdes M. Rivera 3000 S. Semoran Blvd. Orlando, FL 32822 Attorney for Personal Representative: Joseph R. Johnson, Esq 3000 S. Semoran Blvd. Searcy Denney Scarola Barnhart
Palm Beach Lakes Blvd West Palm Beach 33409
13, 20, 2024
June
& Shipley 2139
Telephone: 561-686-6300 E-mail: jjohnson@searcylaw.com June
24-01869W
2024-CA-003277-O NATIONSTAR MORTGAGE LLC, Plaintiff, vs. LORNA AARON, et al., Defendants. TO: LORNA AARON YOU ARE NOTIFIED that an action for Foreclosure of Mortgage on the following described property: LOT 7, NORTHWOOD, ACCORDING TO THE PLAT THEREOF, AS RECORDED IN PLAT BOOK 46, PAGES 39 THROUGH 45, OF THE PUBLIC RECORDS OF ORANGE COUNTY, FLORIDA. has been filed against you and you are required to serve a copy of your written defenses, if any, to it, on De Cubas & Lewis, P.A., Attorney for Plaintiff, whose address is PO Box 5026, Coral Springs, FL 33310 on or before 7/5/2024, a date at least thirty (30) days after the first publication of this Notice in the (Please publish in BUSINESS OBSERVER) and file the original with the Clerk of this Court either before service on Plaintiff’s attorney or immediately thereafter; otherwise a default will be entered against you for the relief demanded in the complaint. If you are a person with a disability who needs any accommodation in order to participate in a court proceeding or event, you are entitled, at no cost to you, to the provision of certain assistance. Please contact Orange County, ADA Coordinator, Human Resources, Orange County Courthouse, 425 N. Orange Avenue, Suite 510, Orlando, Florida, (407) 836-2303, fax: 407-8362204; and in Osceola County;: ADA Coordinator, Court Administration, Osceola County Courthouse, 2 Courthouse Square, Suite 6300, Kissimmee, FL 34741, (407) 742-2417, fax 407-8355079, at least 7 days before your scheduled court appearance, or immediately upon receiving notification if the time before the scheduled court appearance is less than 7 days. If you are hearing or voice impaired, call 711 to reach the Telecommunications Relay Service. WITNESS my hand and the seal of this Court this 5th day of JUNE, 2024. TIFFANY MOORE RUSSELL As Clerk of the Court By: /s/ Nancy Garcia As Deputy Clerk 24-00958 June 13, 20, 2024 24-01847W
E-mail:
June 13, 20, 2024 24-01866W SECOND INSERTION NOTICE OF ACTION IN THE CIRCUIT COURT OF THE 9TH JUDICIAL CIRCUIT, IN AND FOR ORANGE COUNTY, FLORIDA CIVIL DIVISION CASE NO.:
claimed would rest with the City of Winter Garden as authorized by chapter 705 of the Florida State Statutes. At the conclusion of the (90) day period, said property will be DISPOSED of according to Florida Law CASE # Item Date Status WGPD22OFF001436 IPad WITH CASE 04/22/2022 FOUND PROPERTY WGPD22OFF002305 SAMSUNG GALAXY CELLPHONE 06/25/2022 FOUND PROPERTY WGPD23OFF000059 APPLE MACBOOK AIR CASE & CHARGER 01/09/2023 FOUND PROPERTY WGPD23OFF000102 APPLE IPHONE IN CASE 01/11/2023 FOUND PROPERTY WGPD23OFF000242 APPLE AIRPODS IN CASE 01/24/2023 FOUND PROPERTY WGPD23OFF000977 APPLE WATCH 03/13/2023 FOUND PROPERTY WGPD23OFF001014 SAMSUNG SMARTPHONE 03/13/2023 FOUND PROPERTY WGPD23OFF001419 BACKPACK BLOWER 04/10/2023 FOUND PROPERTY WGPD23OFF002075 SKAGEN DENMARK WRISTWATCH 05/22/2023 FOUND PROPERTY WGPD23OFF002270 AIR CONDITIONING VACUUM PUMP 06/06/2023 FOUND PROPERTY WGPD23OFF002588 APPLE IPHONE WITH CASE 06/28/2023 FOUND PROPERTY WGPD23OFF002948 SET OF CALIBRATION TOOLS 08/01/2023 FOUND PROPERTY WGPD23OFF002948 COLLAPSABLE DOLLY 08/01/2023 FOUND PROPERTY WGPD23OFF003187 DELL LAPTOP 08/16/2023 FOUND PROPERTY WGPD23OFF003436 GALAXY S8 CELL PHONE 09/07/2023 FOUND PROPERTY WGPD23OFF003479 SAMSUNG SMART PHONE 09/12/2023 FOUND PROPERTY WGPD23OFF003536 RED TORO TIMEMASTER 30” PUSH LAWNMOWER 09/21/2023 FOUND PROPERTY WGPD23OFF003793 METAL RING STONES 10/12/2023 FOUND PROPERTY WGPD23OFF003781 PINK BICYCLE WITH BASKET ATTACHED IN FRONT 10/10/2023 FOUND PROPERTY WGPD23OFF003803 RING METAL WITH STONES 10/10/2023 FOUND PROPERTY WGPD23OFF003753 HP BRAND LAPTOP COMPUTER 11/08/2023 FOUND PROPERTY WGPD23OFF004233 APPLE IPHONE IN CASE 11/15/2023 FOUND PROPERTY WGPD23OFF004619 LG CELLPHONE WITH CASE 12/13/2023 FOUND PROPERTY WGPD24OFF000724 MOVADO WOMENS WATCH TWO TONE BROKEN 02/29/2024 FOUND PROPERTY WGPD24OFF000890 GARMIN FENIX 5 WATCH 03/14/2024 FOUND PROPERTY WGPD24OFF001165 HYPER INSPIRE BICYCLE 04/08/2024 FOUND PROPERTY June 13, 20, 2024 24-01889W SECOND INSERTION NOTICE OF PUBLIC SALE Notice is hereby given that on 07/05/2024, at 10:30 a.m., the following property will be sold at public auction pursuant to F.S. 715.109: A 1986 BARR mobile home bearing vehicle identification numbers FLFL2AF503309123 and FLFL2BF503309123 and all personal items located inside the mobile home. Last Tenant: Helen Conti, William Gonzalez, Estate of William Gonzalez , Estate of William Gonzalez c/o Anama-
G. Gonzalez, Heir, and Estate of Wil-
Gonzalez
Nicholas J. Gonzalez, Heir. Sale to be held at: Gulfstream Harbor, 4505 Old Goldenrod Road, Orlando, Florida 32822, 407-965-2836. June 13, 20, 2024 24-01888W LEGAL NOTICE PUBLISH YOUR Call 941-906-9386 or email legal@businessobserverfl.com and select the appropriate County name from the menu option LV20878_V3 --- PUBLIC NOTICES ----- ESTATE --VIEW NOTICES ONLINE AT Legals.BusinessObserverFL.com
useful resource, websites should not be used as the sole source of a legal notice.
government body
a private firm, are not independent, archived, readily
To publish your legal notice email: legal@businessobserverfl.com LV18237_V35
rie
liam
c/o
Are internet-only legal notices sufficient? No. While the internet is clearly a
Websites, whether controlled by a
or
available or independently verified. Newspaper legal notices fulfills all of those standards.

ORANGE COUNTY

SUBSEQUENT INSERTIONS

THIRD INSERTION

THIRD INSERTION

NOTICE OF APPLICATION FOR TAX DEED

NOTICE IS HEREBY GIVEN that DENNIS RYAN the holder of the following certificate has filed said certificate for a TAX DEED to be issued thereon. The Certificate number and year of issuance, the description of the property, and the names in which it was assessed are as follows:

CERTIFICATE NUMBER: 2021-8882

YEAR OF ISSUANCE: 2021

DESCRIPTION OF PROPERTY: J F ANGE SUB F/129 LOT 7 (LESS N 24.41 FT) & (LESS BEG AT SE COR RUN NLY 45 FT SWLY 62.71 FT M/L SW COR TH E 43.67 FT TO POB FOR EXPY) & THAT PT OF LOT 8 LYING NWLY OF I-4 R/W & E1/2 OF VAC R/W ON W OF LOTS 4 & 5 PARCEL ID # 35-22-29-0172-00-070

Name in which assessed: EVELYN

FOURTH INSERTION

NOTICE OF APPLICATION FOR TAX DEED NOTICE IS HEREBY GIVEN that SAVVY FL LLC the holder of the following certificate has filed said certificate for a TAX DEED to be issued thereon. The Certificate number and year of issuance, the description of the property, and the names in which it was assessed are as follows:

CERTIFICATE NUMBER: 2020-5146

YEAR OF ISSUANCE: 2020

DESCRIPTION OF PROPERTY: PARK RIDGE O/100 LOT 1 BLK 22

PARCEL ID # 28-22-28-6689-22-010 Name in which assessed: DONNA J MARCANO, RAFAEL MARCANO JR ALL of said property being in the County of Orange, State of Florida. Unless such certificate shall be redeemed according to law, the property described in such certificate

FOURTH INSERTION

NOTICE OF APPLICATION FOR TAX DEED NOTICE IS HEREBY GIVEN that SAVVY FL LLC the holder of the following certificate has filed said certificate for a TAX DEED to be issued thereon. The Certificate number and year of issuance, the description of the property, and the names in which it was assessed are as follows:

CERTIFICATE NUMBER: 2020-19714

YEAR OF ISSUANCE: 2020

DESCRIPTION OF PROPERTY: BITHLO G/50 LOTS 26 & 27 BLK Q

PARCEL ID # 22-22-32-0712-17-026

Name in which assessed: MRS GEORGE LINCOLN

ALL of said property being in the County of Orange, State of Florida. Unless such certificate shall be redeemed according to law, the property described in such certificate will be sold to the highest bidder online at www.orange. realtaxdeed.com scheduled to begin at 10:00 a.m. ET, Jul 11, 2024.

Dated: May 23, 2024 Phil Diamond County Comptroller Orange County, Florida By: R Kane Deputy Comptroller May 30; June 6, 13, 20, 2024 24-01706W

FOURTH INSERTION

NOTICE OF APPLICATION FOR TAX DEED

NOTICE IS HEREBY GIVEN that SAVVY FL LLC the holder of the following certificate has filed said certificate for a TAX DEED to be issued thereon. The Certificate number and year of issuance, the description of the property, and the names in which it was assessed are as follows:

CERTIFICATE NUMBER: 2021-6077

YEAR OF ISSUANCE: 2021

DESCRIPTION OF PROPERTY: WHISPERING PINES ESTATES FIRST ADDITION R/146 LOT 100 PARCEL ID # 28-21-29-9264-01-000

Name in which assessed: RAIM NIRANJAN

ALL of said property being in the County of Orange, State of Florida. Unless such certificate shall be redeemed according to law, the property described in such certificate will be sold to the highest bidder online at www.orange. realtaxdeed.com scheduled to begin at 10:00 a.m. ET, Jul

FOURTH INSERTION

NOTICE OF APPLICATION FOR TAX DEED

NOTICE IS HEREBY GIVEN that SAVVY FL LLC the holder of the following certificate has filed said certificate for a TAX DEED to be issued thereon. The Certificate number and year of issuance, the description of the property, and the names in which it was assessed are as follows:

CERTIFICATE NUMBER: 2021-8011

YEAR OF ISSUANCE: 2021

DESCRIPTION OF PROPERTY: SUNSET PARK SUB F/115 LOT 2 BLK E (LESS R/W ON S) PARCEL ID # 26-22-29-8460-05-020

Name in which assessed: NATARI LLC ALL of said property being in the County of Orange, State of Florida. Unless such certificate shall be redeemed according to law, the property described in such certificate will be sold to the highest bidder online at www.orange. realtaxdeed.com scheduled to begin at 10:00 a.m. ET, Jul 11, 2024.

Dated: May 23, 2024 Phil Diamond County Comptroller Orange County, Florida By: R Kane Deputy Comptroller May 30; June 6, 13, 20, 2024 24-01712W

NOTICE OF APPLICATION FOR TAX DEED

NOTICE IS HEREBY GIVEN that DENNIS RYAN the holder of the following certificate has filed said certificate for a TAX DEED to be issued thereon. The Certificate number and year of issuance, the description of the property, and the names in which it was assessed are as follows:

CERTIFICATE NUMBER: 2021-16716

YEAR OF ISSUANCE: 2021

DESCRIPTION OF PROPERTY: UNRECORDED PLAT OF ORANGE CO ACRES TRACTS 25269 & 25270

ALSO DESC AS N1/2 OF N1/2 OF NE1/4 OF NW1/4 OF SW1/4 SEC 2522-32

PARCEL ID # 25-22-32-6215-02-690

Name in which assessed: JOHN A MANNING ESTATE

ALL of said property being in the County of Orange, State of Florida. Unless such certificate shall be redeemed according to law, the property described in such certificate will be sold to the highest bidder online at www.orange. realtaxdeed.com scheduled to begin at 10:00 a.m. ET, Jul 18, 2024.

Dated: May 30, 2024 Phil Diamond County Comptroller Orange County, Florida By: M Sosa Deputy Comptroller June 6, 13, 20, 27, 2024 24-01779W

FOURTH INSERTION

NOTICE OF APPLICATION FOR TAX DEED

NOTICE IS HEREBY GIVEN that SAVVY FL LLC the holder of the following certificate has filed said certificate for a TAX DEED to be issued thereon. The Certificate number and year of issuance, the description of the property, and the names in which it was assessed are as follows:

CERTIFICATE NUMBER: 2021-172

YEAR OF ISSUANCE: 2021

DESCRIPTION OF PROPERTY: FLORIDA HUMUS COMPANY INDUSTRIAL AREA PLAT Q/115 LOT 10 3372/350 & CI-90-7717

PARCEL ID # 21-20-27-2784-00-100

Name in which assessed: ANTONIO ALENCAR

ALL of said property being in the County of Orange, State of Florida. Unless such certificate shall be redeemed according to law, the property described in such certificate will be sold to the highest bidder online at www.orange. realtaxdeed.com scheduled to begin at 10:00 a.m. ET, Jul 11, 2024.

Dated: May 23, 2024 Phil Diamond County Comptroller Orange County, Florida By: R Kane Deputy Comptroller May 30; June 6, 13, 20, 2024 24-01707W

FOURTH INSERTION

NOTICE OF APPLICATION FOR TAX DEED

NOTICE IS HEREBY GIVEN that SAVVY FL LLC the holder of the following certificate has filed said certificate for a TAX DEED to be issued thereon. The Certificate number and year of issuance, the description of the property, and the names in which it was assessed are as follows:

CERTIFICATE NUMBER: 2021-9891

YEAR OF ISSUANCE: 2021

DESCRIPTION OF PROPERTY:

TYMBER SKAN ON THE LAKE SECTION 3 CONDO CB 2/51 UNIT D BLDG 22

PARCEL ID # 09-23-29-9403-22-004

Name in which assessed: AREA REALTY BROKERS INC

ALL of said property being in the County of Orange, State of Florida. Unless such certificate shall be redeemed according to law, the property described in such certificate will be sold to the highest bidder online at www.orange. realtaxdeed.com scheduled to begin at 10:00 a.m. ET, Jul 11, 2024. Dated: May 23, 2024 Phil Diamond County Comptroller Orange County, Florida By: R Kane Deputy Comptroller May 30; June 6, 13, 20, 2024 24-01713W

THIRD INSERTION

NOTICE OF APPLICATION FOR TAX DEED

NOTICE IS HEREBY GIVEN that DENNIS RYAN the holder of the following certificate has filed said certificate for a TAX DEED to be issued thereon. The Certificate number and year of issuance, the description of the property, and the names in which it was assessed are as follows:

CERTIFICATE NUMBER: 2021-16735

YEAR OF ISSUANCE: 2021

DESCRIPTION OF PROPERTY:

UNRECORDED PLAT OF ORANGE CO ACRES TRACT 25354 ALSO DESC AS N1/2 OF SW1/4 OF SE1/4 OF NE1/4 OF SE1/4 SEC 25-22-32

PARCEL ID # 25-22-32-6215-03-540

Name in which assessed: ARTHUR E ROSE JR

ALL of said property being in the County of Orange, State of Florida. Unless such certificate shall be redeemed according to law, the property described in such certificate will be sold to the highest bidder online at www.orange. realtaxdeed.com scheduled to begin at 10:00 a.m. ET, Jul 18, 2024.

Dated: May 30, 2024 Phil Diamond County Comptroller Orange County, Florida

By: M Sosa Deputy Comptroller June 6, 13, 20, 27, 2024 24-01780W

FOURTH INSERTION

NOTICE OF APPLICATION FOR TAX DEED

NOTICE IS HEREBY GIVEN that SAVVY FL LLC the holder of the following certificate has filed said certificate for a TAX DEED to be issued thereon. The Certificate number and year of issuance, the description of the property, and the names in which it was assessed are as follows:

CERTIFICATE NUMBER: 2021-293

YEAR OF ISSUANCE: 2021

DESCRIPTION OF PROPERTY: ORLANDO-APOPKA AIRPORT CONDO 7431/1846 UNIT 146

PARCEL ID # 35-20-27-6645-01-460

Name in which assessed: HOWELL AVIATION LLC

ALL of said property being in the County of Orange, State of Florida. Unless such certificate shall be redeemed according to law, the property described in such certificate will be sold to the highest bidder online at www.orange. realtaxdeed.com scheduled to begin at 10:00 a.m. ET, Jul 11, 2024. Dated: May 23, 2024 Phil Diamond County Comptroller Orange County, Florida

By: R Kane Deputy Comptroller May 30; June 6, 13, 20, 2024 24-01708W

FOURTH INSERTION

NOTICE OF APPLICATION FOR TAX DEED

NOTICE IS HEREBY GIVEN that SAVVY FL LLC the holder of the following certificate has filed said certificate for a TAX DEED to be issued thereon. The Certificate number and year of issuance, the description of the property, and the names in which it was assessed are as follows:

CERTIFICATE NUMBER: 2021-9956

YEAR OF ISSUANCE: 2021

DESCRIPTION OF PROPERTY: LYME BAY COLONY CONDO CB 3/60 BLDG 29 UNIT 2904

PARCEL ID # 10-23-29-5298-29-040

Name in which assessed: MICHAEL K DIETRICH, AMBER BROWN

ALL of said property being in the County of Orange, State of Florida. Unless such certificate shall be redeemed according to law, the property described in such certificate will be sold to the highest bidder online at www.orange. realtaxdeed.com scheduled to begin at 10:00 a.m. ET, Jul 11, 2024.

Dated: May 23, 2024 Phil Diamond County Comptroller Orange County, Florida By: R Kane Deputy Comptroller May 30; June 6, 13, 20, 2024 24-01714W

FOURTH INSERTION

NOTICE OF APPLICATION FOR TAX DEED NOTICE IS HEREBY GIVEN that SAVVY FL LLC the holder of the following certificate has filed said certificate for a TAX DEED to be issued thereon. The Certificate number and year of issuance, the description of the property, and the names in which it was assessed are as follows:

CERTIFICATE NUMBER: 2021-3877

YEAR OF ISSUANCE: 2021

DESCRIPTION OF PROPERTY: LAUREL HILLS CONDOMINIUM 9454/4389 UNIT 7352 BLDG 8

PARCEL ID # 23-22-28-4952-07-352

Name in which assessed: MARCUS MYERS

ALL of said property being in the County of Orange, State of Florida. Unless such certificate shall be redeemed according to law, the property described in such certificate will be sold to the highest bidder online at www.orange. realtaxdeed.com scheduled to begin at 10:00 a.m. ET, Jul 11, 2024.

Dated: May 23, 2024 Phil Diamond County Comptroller Orange County, Florida By: R Kane Deputy Comptroller May 30; June 6, 13, 20, 2024 24-01709W

FOURTH INSERTION

NOTICE OF APPLICATION FOR TAX DEED

NOTICE IS HEREBY GIVEN that DENNIS RYAN the holder of the following certificate has filed said certificate for a TAX DEED to be issued thereon. The Certificate number and year of issuance, the description of the property, and the names in which it was assessed are as follows:

CERTIFICATE NUMBER: 2021-16656

YEAR OF ISSUANCE: 2021

DESCRIPTION OF PROPERTY: UNRECORDED PLAT OF ORANGE CO ACRES TRACT 25013 ALSO DESC AS N1/2 OF NE1/4 OF NE1/4 OF NW1/4 OF NW1/4 SEC 25-22-32 PARCEL ID # 25-22-32-6215-00-130

Name in which assessed: LEE HAYDEN, MILDRED N HAYDEN

ALL of said property being in the County of Orange, State of Florida. Unless such certificate shall be redeemed according to law, the property described in such certificate will be sold to the highest bidder online at www.orange. realtaxdeed.com scheduled to begin at 10:00 a.m. ET, Jul 11, 2024.

Dated: May 23, 2024 Phil Diamond County Comptroller Orange County, Florida By: R Kane Deputy Comptroller May 30; June 6, 13, 20, 2024 24-01715W

Thursday, June 20, 2024 The West Orange Times 9B
ALL
property
County of Orange,
such certificate shall be redeemed ac-
law, the property described in such certificate will be sold to the highest bidder online at www.orange. realtaxdeed.com
to begin at 10:00 a.m. ET, Jul 18, 2024.
May 30, 2024 Phil Diamond County Comptroller Orange County, Florida By: M Sosa Deputy Comptroller June 6, 13, 20, 27, 2024 24-01778W
INSERTION NOTICE OF APPLICATION FOR TAX DEED NOTICE IS HEREBY GIVEN that SAVVY FL LLC the holder of the following certificate has filed said certificate for a TAX DEED to be issued thereon. The Certificate number and year of issuance, the description of the property, and the names in which it was assessed are as follows: CERTIFICATE NUMBER: 2020-19805 YEAR OF ISSUANCE: 2020 DESCRIPTION OF PROPERTY: BITHLO P/69 LOT 25 DESC AS BEG N 50 DEG W 529.12 FT FROM SE COR OF BLK 2237 TH RUN N 50 DEG W 75 FT N 39 DEG E 125 FT S 50 DEG E 75 FT S 39 DEG W 125 FT TO POB IN SEC 27-22-32 NE PARCEL ID # 22-22-32-0728-23-725 Name in which assessed: THINH NGUYEN ALL of said property being in the County of Orange, State of Florida. Unless such certificate shall be redeemed according to law, the property described in such certificate will be sold to the highest bidder online at www.orange. realtaxdeed.com scheduled to begin at 10:00 a.m. ET, Jul 18, 2024. Dated: May 30, 2024 Phil Diamond County Comptroller Orange County, Florida By: M Sosa Deputy Comptroller June 6, 13, 20, 27, 2024 24-01777W --- TAX DEEDS --FOURTH INSERTION NOTICE OF APPLICATION FOR TAX DEED NOTICE IS HEREBY GIVEN that SAVVY FL LLC the holder of the following certificate has filed said certificate for a TAX DEED to be issued thereon. The Certificate number and year of issuance, the description of the property, and the names in which it was assessed are as follows: CERTIFICATE NUMBER: 2021-17191 YEAR OF ISSUANCE: 2021 DESCRIPTION OF PROPERTY: ROCKET CITY UNIT 4A Z/110 A/K/A CAPE ORLANDO ESTATES UNIT 4A 1855/292 THE E 75 FT OF W 180 FT OF TR 51 PARCEL ID # 25-23-32-9632-00-513 Name in which assessed: JEANNETTE SCHNEIDER, THOMAS F MCKEAN, GERALD R MCKEAN, JAMES E MCKEAN, ROBERT H MCKEAN ALL of said property being in the County of Orange, State of Florida. Unless such certificate shall be redeemed according to law, the property described in such certificate will be sold to the highest bidder online at www.orange. realtaxdeed.com scheduled to begin at 10:00 a.m. ET, Jul 11, 2024. Dated: May 23, 2024 Phil Diamond County Comptroller Orange County, Florida By: R Kane Deputy Comptroller May 30; June 6, 13, 20, 2024 24-01716W
I KNIGHT ESTATE
of said
being in the
State of Florida. Unless
cording to
scheduled
Dated:
THIRD
11, 2024.
May 23, 2024 Phil Diamond County Comptroller Orange County, Florida By: R Kane Deputy Comptroller May 30; June 6, 13, 20, 2024 24-01711W FOURTH INSERTION NOTICE OF APPLICATION FOR TAX DEED NOTICE IS HEREBY GIVEN that SAVVY FL LLC the holder of the following certificate has filed said certificate for a TAX DEED to be issued thereon. The Certificate number and year of issuance, the description of the property, and the names in which it was assessed are as follows: CERTIFICATE NUMBER: 2021-5124 YEAR OF ISSUANCE: 2021 DESCRIPTION OF PROPERTY: 7601 CONDOMINIUM 10791/4538 F/K/A HAWTHORN SUITES ORLANDO CONDOMINIUM 8594/1846 UNIT 614 PARCEL ID # 25-23-28-3459-00-614 Name in which assessed: CELEBRATION LUXURY ACCOMMODATIONS LLC ALL of said property being in the County of Orange, State of Florida. Unless such certificate shall be redeemed according to law, the property described in such certificate will be sold to the highest bidder online at www.orange. realtaxdeed.com scheduled to begin at 10:00 a.m. ET, Jul 11, 2024. Dated: May 23, 2024 Phil
Dated:
Diamond County Comptroller Orange County, Florida By: R Kane Deputy Comptroller May 30; June 6, 13, 20, 2024 24-01710W
will be sold to the highest bidder online at www.orange. realtaxdeed.com scheduled to begin at 10:00 a.m. ET, Jul 11, 2024. Dated: May 23, 2024 Phil Diamond County Comptroller Orange County, Florida By: R Kane Deputy Comptroller May 30; June 6, 13, 20, 2024 24-01705W FOURTH INSERTION NOTICE OF APPLICATION FOR TAX DEED NOTICE IS HEREBY GIVEN that THOMAS E ROBBINS the holder of the following certificate has filed said certificate for a TAX DEED to be issued thereon. The Certificate number and year of issuance, the description of the property, and the names in which it was assessed are as follows: CERTIFICATE NUMBER: 2017-1077 YEAR OF ISSUANCE: 2017 DESCRIPTION OF PROPERTY: BEG SW COR OF NE1/4 OF NE1/4 OF SEC 33-22-27 TH RUN W 20 FT N 182.99 FT W 30 FT N 330.52 FT W 1275.46 FT N 100 FT E 1305.29 FT S 376.91 FT S 57 DEG E 23.85 FT S 223.65 FT TO POB PARCEL ID # 33-22-27-0000-00-020 Name in which assessed: MICHAEL W WARREN, CAROL A WARREN ALL of said property being in the County of Orange, State of Florida. Unless such certificate shall be redeemed according to law, the property described in such certificate will be sold to the highest bidder online at www.orange. realtaxdeed.com scheduled to begin at 10:00 a.m. ET, Jul 11, 2024. Dated: May 23, 2024 Phil Diamond County Comptroller Orange County, Florida By: R Kane Deputy Comptroller May 30; June 6, 13, 20, 2024 24-01704W FOURTH INSERTION NOTICE OF APPLICATION FOR TAX DEED NOTICE IS HEREBY GIVEN that THOMAS E ROBBINS the holder of the following certificate has filed said certificate for a TAX DEED to be issued thereon. The Certificate number and year of issuance, the description of the property, and the names in which it was assessed are as follows: CERTIFICATE NUMBER: 2017-78 YEAR OF ISSUANCE: 2017 DESCRIPTION OF PROPERTY: TANGERINE MISC 3/599 THE W 47 FT OF LOTS 7 & 8 BLK 12 PARCEL ID # 08-20-27-8559-12-070 Name in which assessed: TERI L KELLOGG ALL of said property being in the County of Orange, State of Florida. Unless such certificate shall be redeemed according to law, the property described in such certificate will be sold to the highest bidder online at www.orange. realtaxdeed.com scheduled to begin at 10:00 a.m. ET, Jul 11, 2024. Dated: May 23, 2024 Phil Diamond County Comptroller Orange County, Florida By: R Kane Deputy Comptroller May 30; June 6, 13, 20, 2024 24-01703W SAVE TIME Email your Legal Notice legal@businessobserverfl.com Deadline Wednesday at noon Friday Publication SARASOTA • MANATEE • HILLSBOROUGH PASCO • PINELLAS • POLK • LEE COLLIER •CHARLOTTE LV20906_V34
10B The West Orange Times Thursday, June 20, 2024 ORANGE COUNTY Public notices don’t affect me. Right? The property next to the lot you just bought was rezoned as land fill. Maybe you should have read the public notice in your local paper. Be informed read public notices in this newspaper or online www. FloridaPublicNotices .com

Turn static files into dynamic content formats.

Create a flipbook