
1 minute read
D11 Innovation Spotlight
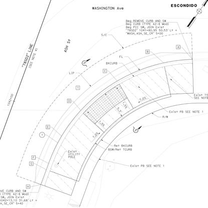
Curb Ramp Detail
Winner of the 2020 WASHTO Award
Advertisement
Wameedh Tozy
District 11 Innovation Spotlight
Time-Saving Innovation of Curb Ramp Detail
What was the problem?
Tables provided by previous projects in detail did not fulfill the needs of Surveys and made it hard for Surveys’ checkers to follow the design against the submitted plans after RTL. It also required a lot of drafting.
How did the solution come
Which units helped develop it?
It was decided to place the staking notes in detail instead. This would be more efficient to check in the office and stake in the field. It also
required far less drafting because the information is automatically generated from the Civil 3D corridor.
North County Corridor Design Team, Surveys, Design Office Engineering, and CADD & Drafting Review.
Were there any problems or roadblocks?
The Slope Staking Notes (SSN) output from Civil-3D (C3D) is in MS Word format, requiring transferring into MS Excel and later linked to Microstation through Axiom.
What are the benefits?
What is next for the innovation?
By placing the staking notes on the plans, Surveys were able to check the design and plans before RTL and give their multiple rounds of comments during constructability reviews and PS&E submittal. This eliminated the extensive rework due to lack of checking after updates made to the design and efficiency by delivering the notes with the plans simultaneously.
We are currently establishing the C3D SSN output in a table automation form that can be referenced directly to Microstation.
The Innovator
• Wameedh Tozy is an engineer working in the North
County Corridor projects (I-5/Sr-76/SR-78) • Wameedh joined Caltrans 13 years ago. • In his free time, Wameedh likes to play sports and attend church activities. Fun Fact about Wameedh
He has lived in five countries, including Iraq (home country), England, Jordan, Syria, and the United States.

