Two Row Times, March 13, 2024

Page 1

1045 Brant County Hwy 54 Ohsweken 519-770-3628 SNOWMOBILES • SIDE X SIDES • ATVS • MOTORCYCLES • JET SKIS • LAWN MOWERS SALES • SERVICE • PARTS 1264 COLBORNE ST. EAST, BRANTFORD, ONTARIO PHONE 519.759.8140 Come see us for great savings WEDNESDAY MARCH 13TH | www.tworowtimes.com | 519-900-5535 | Grand River Territory | FREE THE SPIRIT OF ALL NATIONS Home | Auto | Commercial | Pensions | Group | Risk Management grandriverinsurance.ca · 2176-B Chiefswood Rd, Ohsweken Call us today for a free quote (519) 445-2795 Your insurance and community partner We hire local, shop local, and support community members and charities through donations and sponsorship We take pride in investing back into the community we share 322ArgyleStSouth,Caledonia 289-757-7777 6ParkviewRd,Hagersville (LocatedInsideMorisonInsurance) 1-844-233-4317 STATEOFTHEARTPRODUCTS& EQUIPMENT COMPLIMENTARYHEARINGTESTS CERTIFIEDPROFESSIONALS LIFETIMEFREEADJUSTMENTS& CLEANING HearRight UnderTreatyRightsFirstNationspeopleare entitledtoreceiveHearingAidsatnocost. Comeseeusfordetails. HEARINGAIDSKEEPTHEMINDEXERCISED ANDSHARP! DON’TLETHEARINGPROBLEMSSTOPYOU FROMBEINGPARTOFTHEFAMILY! hearrightcanada.ca WEAREPLEASEDTOANNOUNCEOUR TEAMINCALEDONIA KellyGadoury HearingInstrument Specialist TaraHarview HearingConsultant Little NHL is underway Let the games begin

Eight out of 168 people who had Covid vaccine on Six Nations had adverse reaction

The results of a threeyear long community Covid study are in and the statistics show some surprising results.

Six Nations had one of the lowest vaccine rates of any region in Ontario, with about 50 percent of people getting the first dose of the Covid vaccine while the provincial average was around 80 percent.

Out of 168 people who participated in the community Covid study and said they had the vaccine, 8 of them had reactions severe enough to require hospital care, noted Six Nations epidemiologist Sara Smith.

Those reactions were

related to allergies or anaphylaxis, she said.

Vaccines were also a source of tension and division in the community, she said, with about 30 percent of study participants saying they only got the vaccine because of mandates.

She said 50 percent of the participants who got the vaccine did so because they believed in the science and efficacy of the vaccine, while the remainder said they got the vaccine because of influence from others, whether family, friends or healthcare workers.

When it came to infections, 23 per cent tested positive for Covid antibodies even though they said they believed they never had Covid, leading Smith to conclude those were asymptomatic

infections.

Half of participants in the study had at least one chronic condition, which made the outcomes worse for those infected, said Smith.

“(First Nations people) were hit harder than other groups and got sicker when they caught it,” she said.

About 36 people died of Covid on Six Nations during the pandemic. Six percent of infected people needed hospitalization, as well.

Six Nations partnered with McMaster University to conduct the study.

About 437 people took part in the study.

The purpose of the study was to look at the statistics to better prepare for any future pandemics that may arise, said Smith.

The majority of study participants said they believed the vaccine improved their immunity and response to the virus and that after vaccination, their experience was more mild.

The study also noted that of those who chose not to get the vaccine, the major reasons cited were:

-believing the vaccine development was rushed or they were worried about side effects;

-they felt confident in being able to fight the virus themselves without the aid of a vaccine.

The study noted that the majority of participants got their information from traditional media and health care workers, and about 27 percent used social media for information.

About 30 per cent used

Six Nations local media for their Covid-19 information.

When it came to measures meant to mitigate the virus transmission, 82 percent of participants wore a mask often or always and 93 percent practiced physical distancing often or always, while also avoiding crowded places, handshakes or hugs.

Their reasoning, said Smith, was to protect friends and family and the community at large.

The pandemic did have impacts on mental and emotional well-being, the study noted.

Most participants reported some degree of depressive symptoms with about 50 percent reporting moderate to severe depressive symptoms.

Young students and essential workers were the groups most affected mentally and emotionally during the pandemic, the study noted.

In some cases, isolation during the pandemic helped some people strengthen relationships with family and they learned new skills.

Others had difficulties with not being able to attend longhouse and it negatively affected their mental health, said Smith.

Essential workers and single parents experienced the most stress during lockdowns, the study noted, notably, with essential workers experiencing burnout and single parents having trouble with juggling employment and their children learning remotely from home.

TWO ROW TIMES MARCH 13TH, 2024 2
LOCAL keeping you informed.
TWO
ROW TIMES

A Call to Uphold: Championing Mohawk Posterity and the Haldimand Proclamation Through Legal Challenge

TRT Staff: Benjamin Doolittle UE, your challenge is deeply anchored in the Haldimand Proclamation. How do you explain its importance?

Benjamin Doolittle: The Haldimand Proclamation isn’t just historical—it’s a living commitment between the Mohawk people and the Crown, underlining our unique sovereignty. This challenge is about ensuring that sovereignty is recognized, especially by those in public office who’ve pledged allegiance to these principles.

TRT Staff: What does this mean for the application of Canadian legislation on Mohawk lands?

Benjamin Doolittle: It means that Canadian

legislation, as it stands, doesn’t recognize our unique status or rights over our ancestral lands. Our challenge seeks to correct this oversight, ensuring our laws and governance structures are respected and upheld. I am asserting that this land has never been formally made part of the Province of Ontario and that Mohawks posterity have exclusive use and enjoyment of the Grand RIver lands and they do not have lands or monies held in trust by either government that may invoke the Indian Act and provincial general application rules.

TRT Staff: The role of the community seems critical here.

Benjamin Doolittle: Absolutely. This is a collec-

tive reaffirmation of our rights and identity. We’re rallying not just for financial and legal support but for a unified voice to echo our rightful stance. Our site grandback.org holds more on our research and perspectives.

TRT Staff: And the broader impact?

Benjamin Doolittle: This could redefine Indigenous rights recognition across Canada, ensuring treaties like ours guide legislation and governance, respecting Indigenous sovereignty as a standard.

TRT Staff: Facing such a historic challenge, what hurdles do you foresee?

Benjamin Doolittle: The complexity of aligning

modern legal frameworks with our treaty rights is a significant challenge, compounded by the need for robust historical evidence. Yet, with our community’s support, we’re ready to navigate these waters.

TRT Staff: How does this align with the Indigenous sovereignty movement?

Benjamin Doolittle: It’s a cornerstone—our success could inspire a nationwide movement towards greater sovereignty and self-determination, setting a precedent for how Indigenous treaties are respected.

TRT Staff: Support from allies and experts?

Benjamin Doolittle: Critical at every step. We

would like to engage with legal expertise in Indigenous and treaty law, and allies who grasp the importance of our fight, to navigate these complex legalities.

TRT Staff: How can our readers help?

Benjamin Doolittle: Educate, advocate, and support. Awareness and understanding fuel our cause, alongside the tangible support of fundraising efforts to carry this challenge forward.

TRT Staff: Your parting message?

Benjamin Doolittle: By taking on this legal challenge, we’re asking everyone, especially those who have pledged allegiance through citizenship or public office, to recognize

and uphold the Haldimand Proclamation. This act of allegiance should be seen as a commitment to the principles it embodies, ensuring our autonomy and sovereignty are not just acknowledged but actively respected. Through this process, we aim to solidify the understanding that the Mohawk’s distinct status is not a matter of historical footnote but a living, breathing aspect of our nation’s fabric. It’s about ensuring our future is defined by the respect and dignity our treaties guarantee. This is more than a legal battle; it’s a fundamental statement about who we are as a people and the respect we demand and deserve. To review our challenge and all documents related to this challenge visit sixmilesdeep.com

Dedwasnyeha’ Dwanoha’Ohwejade-We will take care of Mother Earth

The Gathering Place by the Grand on Six Nations held a gathering of Indigenous Knowledge Holders,Scholars and Conservationists last week.The convention center was at full capacity. The event was organized by Maskasa Looking Horse whose nations are Mohawk Wolf clan and Lakota(Cheyenne River). The event was sponsored by;Ohneganos;Indigenous Education Council;Six Nations Polytechnic;The Global Center for Understanding Climate Change Impacts on Transbound-

ary Waters;Nature at Mcmaster University/Tek committee Mcmaster;and Six Nations Health Services-Egowadiya DagenhLand Based Healing Center.

The keynote speaker was Dr Robin Wall Kimmerer, a mother,decorated professor,scientist,award winning author and member of the Citizen Potawatomi Nation.Her 2013 released book Braiding Sweetgrass has received international acclaim from the likes of authors Jane Goodall and Elizabeth Gilbert;and American

journalist/TV personality Lisa Ling.

Dr Robin Wall Kimmerer’s central message is “When we heal the land the land heals us.The land as the teacher,library;healer/ pharmacy that heals the physical,emotional,spiritual and mental our well being.We have a responsibility to the land.Indigenized thinking has been colonized. Do we think about land as property and natural resources or do we think about it in our deeper sense of belonging.Old school western conser-

vation has to change its thinking.The first thing that needs to be changed is to restore a respectful reciprocal relationship with both indigenous and western peoples.Then we can get down to structure,function and repair of ecosystems.We are going to listen to the land/ plants and see what it has to say about healing.It’s a very different way of thinking about ecological restoration.Ecological restoration is inseparable from cultural and spiritual restoration.”

There were multiple panels consisting of

highly accredited indigenous and non-indigenous people.Dr Bev Jacobs Indigenous Provost of Indigenous law at the University of Windsor sat on one of the panels.The panel subject was Ethical engagement with traditional ecological knowledge.Dr Jacobs stated “that the relationship we have with the land and making it very personal because we all are human but we also have families;we have clans;we have communities;we have nations that we have a responsibility to all of them.If we start think-

ing about it personally it shifts the way that we do things.We all want to do well and be well for our future generations-that’s one of our laws.”

At the end people formed groups that came up with solutions and thoughts.It was apparent that all groups were concerned with capitalist timelines like rushed development that harms the environment for future generations or current government guidelines that says how much pcp levels are allowed in water as opposed to being able to drink the water.

TWO ROW TIMES MARCH 13TH, 2024 3
Calltobookyour appointment
IT’STAX TIME AGAIN

Ottawa investing $13 million in Hamilton Indigenous health centre

The facility will form part of the Biindigen Well-Being Centre, a new campus that will provide integrated health, family, social and housing services. “Biindigen” is an Anishinaabemowin word meaning “welcome” or “come in.”

Announced by Minister Filomena Tassi, Parliamentary Secretary Lisa Hepfner, Member of Parliament Chad Collins, and De dwa da dehs nye>s Aboriginal Health Centre Board

Chair Bryanne Smart, the Biindigen Well-Being Centre will support improved health outcomes for both the Indigenous people living in the City of Hamilton and the non-Indigenous residents of the McQuesten and surrounding neighbourhoods.

“The Biindigen Well-Being Centre will support the De dwa da dehs nye>s Aboriginal Heath Centre as it continues to provide and expand its culturally appropriate health and social services to Indigenous people in Hamilton and surrounding communities. Our

SIX NATIONS POLICE Constable - Contract Position

Applications for a contract position for Constable with the Six Nations Police are now being called for. All applicants must fill out a standard application form available at the Six Nations Police Station.

CRITERIA for applicants are as follows:

Minimum Requirements to be considered for a career in First Nations Policing with the Six Nations Police Service, you must:

- Be 19 years of age or over and able to provide an official birth certificate or proof of age;

- Be physically and mentally able to perform the duties of the position having regard to your own safety and the safety of members of the public

- Have successfully completed at least 4 years of Secondary School education or its equivalent (official transcripts and diplomas will be required)

- Be of good moral character and habits, meaning that you are an individual other people would consider being trustworthy and having integrity, with no criminal record;

- certified by a physician to be fit for duty as a front line Six Nations Police Constable and able to pass physical tests which are required in the recruiting process

- Possess a valid driver’s license with no more than 6 accumulated demerit points, permitting you to drive an automobile in Ontario with full driving privileges

- Be able to pass a security clearance as well as background investigation, credit card and reference checks

If you have any criminal convictions under a Federal Statute you must obtain a pardon.

Special Requirements – for the Six Nations Police Service, in order to address the unique and at times urgent needs of the Six Nations of the Grand River Community and Haudenosaunee culture, additional requirements include:

- Extensive knowledge of the unique social dynamics of the Six Nations of the Grand River Territory

- A sound understanding of Haudenosaunee culture, customs, traditions and social political issues of the Six Nations of the Grand River

- Six Nations of the Grand River Band Membership/Citizenship and residency is considered a preferred asset and

- Membership or extensive working experience with any Indigenous Nation will also be considered an asset

Desirable Qualifications:

• Six Nations Band member preferred

Assets:

• Previous policing related experience

• Law and security courses, etc.

Closing Date: Applications must be received by 3:00 p.m March 15, 2024. Applications in complete form are

Attention: Policing Administrator

For further information, please contact

COVID-19

Policing Administrator at 519-445-4191.

government is thrilled to work with local partners in Hamilton to create an extraordinary addition to our community that will benefit us all,” said Tassi.

The Biindigen Well-Being Centre will be a multi-use community facility that will feature a unique and forward-thinking Indigenous-led model of collaborative care and learning. Through partnerships with various local organizations, the centre will host Indigenous language learning, training for medical residents, and a teaching space. The centre will provide services to people of all ages.

“The Biindigen Well-Being Centre will use a unique and innovative service model to better address the healthcare and cultural needs of Indigenous people in and around Hamilton. This type of integrated healthcare model is rooted in reconciliation and will better address the diverse needs of the community,” said Collins.

De dwa da dehs nye>s Aboriginal Health Centre (DAHC) will operate and manage the new health facility within the Biindigen Well-Being Centre, focusing on providing holistic, preventative

A new Indigenous-led health centre is receiving an investment of $13 million from the federal government’s Green and Inclusive Community Buildings program.

and primary health care. DAHC already plays an essential role in helping Indigenous people in Hamilton access culturally appropriate health services. Through this new facility and partnerships with local organizations, it will be able to do more and better.

“Addressing the health concerns of Indigenous communities is acritical aspect of the calls to action by the Truth and Reconciliation Commis-

sion. The Indigenous-led Biindigen Well-Being Centre will meaningfully increase access to culturally relevant programs and services for Indigenous individuals and communities in Hamilton and beyond. I am pleased that the federal government is contributing to this important project,” said Hepfner.

The program is providing $1.5 billion over five years towards green and accessible retrofits, repairs or upgrades. It aims to improve the places Canadians work, learn, play, live and come together by cutting pollution, reducing costs, and supporting thousands of good jobs. Through green and other upgrades to existing public community buildings and new builds in underserved communities, the GICB program helps ensure community facilities are inclusive, accessible, and have a long service life, while also helping Canada move towards its net-zero objectives by 2050.

At least 10 per cent of funding is allocated to projects serving First Nations, Inuit, and Métis communities, including Indigenous populations in urban centres.

TWO ROW TIMES MARCH 13TH, 2024 4
Nations Police P.O. Box
2112 4th Line Road Ohsweken, Ontario N0A 1M0
to be mailed or hand delivered to: Six
758
the
be exercised.
Restrictions will
BIINDIGEN.JPG: THE BIINDIGEN WELL-BEING CENTRE WILL SUPPORT THE DE DWA DA DEHS NYE>S ABORIGINAL HEATH CENTRE. SUBMITTED PHOTO JACE KOBLUN jace@tworowtimes.com
ROW TIMES
TWO

Some Six Nations Natural Gas customers have expressed concerns regarding our billing charges. We hope the following information helps give you a better understanding.

• We are a self sufficient, small utility company that is community based.

• Our goal is to provide natural gas services at the lowest cost to stay in the black and avoid deficit. Carbon

• Reduction Plan costs represent nearly 80% of our 10-year increases. We have no control over this cost.

• Between the years 2014 and 2024, there has been an average increase of approximately $40 per year for residential customers.

• Roughly $30 of this increase is due to the Carbon cost, and just under $10 per year is due to increasing costs to Six Nations Natural Gas, mainly due to inflation.

• We purchase our gas supply in the competitive market using a portfolio approach. This protects you from the extreme volitility of the industry when prices get very high, it can also delay how quickly lower costs flow to you.

• We offer an equal billing payment plan to our customers to help with budgeting.

The average houshold consumes approximately 2000 cubic meters of natural gas per year.

2024 versus 2014

10-year cost comparison for 2000 cubic meters

Excluding Carbon, there is a 10-year increase of $88.80, or an average increase of $8.88 per year. Including Carbon there is a total increase of $379.50, or an increase of $37.95 per year.

Note: The Carbon charge has only applied since 2019. The impact of the Carbon charge has been an increase of $290.70 since 2019, or an average annual increase of $48.45 per year over the past 6 years it has been applied. This is on all fossil fuels including; natural gas/gasoline/ propane etc.

Note: The Supreme Court of Canada ruled the carbon charge as a regulatory fee, so it is not considered a tax in the normal sense of the word, meaning First Nations are not exempt.

TWO ROW TIMES MARCH 13TH, 2024 5

My name is Hiroyasu Percival Chávez Sakano also known as Inti Amaterasu. I am an immigrant. I have been a guest on this land since 1980, at the age of 4. Although I have never felt at home, or welcome by the demographic group in power. I have stayed here for many a year, because of hope. A false hope.

I am from Peru. I am multiracial. My mother is from a tiny island in the most northern part of the most northern part of Japan. My grandfather in Japan was an engineer, and a former officer of the imperial Japanese army. A coloniser. My grandfather in Peru, is a mix of the native peoples of the land, the Incas, and their Spaniard conquistadors. My last name of Chávez can be traced to a city in, now Portugal. I have a complicated relationship with colonisation. I would not exist if not for it, but my existence does not justify what was wrought upon the world. If my existence ceasing could decolonize

Turtle Island, I would gladly give it up.

When I was a young student learning about the holocaust, I often wondered, how is it that the holocaust was allowed to happen? I understand the hatred. I understand the racism. I understand the politics. What I couldn’t understand, at the time, was why it took so long to move people into action. How many jewish lives did it take before the majority of the world took action. I poised that question at myself too. How many innocent lives would it take to trigger in me to start fighting this evil? I am a coward by nature. I know it wouldn’t be just 1 innocent life lost. Self preservation is strong in me, an evolutionary trait formed from millions of generations of cowardice, I am sure, but I thought I could do better. 100 people? 500? 1000? Much to my self disgust, the number of innocent lives it takes before my fury of righteous justice can no longer bare, is 30,000.

30,000, innocent men, WOMEN, and CHILDREN. Children I have watched play, sing, smile. Children, now looking like zombies from being starved ON PURPOSE, by yet another coloniser. Children with half their bodies blown up. Their blood on my hands. Their murder funded by my hard work in the form of taxes.

We left Peru, according to the adults that brought me here, because Peru was an unsafe terrible place. My young, 4 year old brain couldn’t help but wonder, if it is such a place, why are we leaving family behind? I understand my parent’s choice. It was not necessarily illogical but why then are we leaving family behind? I believe the core of my anxiety is having survivors’ guilt. It has manifested itself, with the help of mentally abusive parents, and a nation of racists, into massive anxiety, agoraphobic with panic disorder. It is something that since its diagnoses, I have more or

less brought under control with medication and lifestyle. Though lately, it has become much worse. A genocide of an indigenous group, being document by human rights groups, the UN, and even genocidal oppressors, whom seem to enjoy outing themselves on social media as war criminals, will test anyone’s mental fortitude.

We gave up everything coming to these lands, and with it I learned that to be a citizen of these lands is to adopt the sin of these lands. To understand that although I am not of these lands, I will bring it upon myself to make right the injustices held to the original people of these lands.

My daughter, who is first nations via her mother, also suffers from anxiety. She is no longer able to go to school because of it. Because of the genocide. Because of the monsters that allow this to continue, and worse, fund it. Even my non-verbal autistic son can feel our mutual anguish. I cannot face them and tell

them that this nation we live in, is not only guilty of genocide of her ancestors, but are now doing it again. I can’t imagine any Canadian facing an indigenous person and proclaiming that this genocide is acceptable, but they do. I can’t imagine any Canadian face their own children and proclaim that this genocide is acceptable, BUT THEY DO. So, it turns out that my agoraphobia, the abnormal fear of being helpless in a situation from which escape may be difficult or embarrassing that is characterized initially often by panic or anticipatory anxiety and finally by the avoidance of open or public places (Merriam-Webster, an Encyclopaedia Britannica company), was completely justified. I was living with monsters. A nation of monsters. Wendigos. A nation of wendigos.

Now, I understand that the reason why my country of birth was in shambles, is because of Canadian mining companies and other western ‘civilized’ corporations and policies. I am living in the house of the rapist. The rapist who has pillaged and plundered my family and home. All their talk of “we are the world” from my youth. All the talk about Canada saving people in the holocaust, Canada taking up arms to save people from a genocide, was all talk. When it comes down to basic human dignity, Canada has failed me, and you, and despite no longer being of such things… I can no longer be affiliated to this. Thus I have decided to start the process of renouncing my Canadian citizenship. I WILL NOT BECOME A MONSTER.

I truly understand now the trauma, anguish and daily brutal reality that my Indigenous brethren deal with on a daily bases. All the lies, the genocide, the hate that has been directed at you. Seeing the daily reminder of genocide as the bus goes by, as you walk around town. It took me 5 months to be driven to the brink of mental collapse. You. You have endured this for over 300 years. I understand now why some flee their anguish in drugs and alcohol. All the cannabis in the world has not been able to calm the rage I have. Over 300 years of a genocidal process, and now, using your land, your resources for a genocide. While affirming every morning in class about how they are on unceded Indigenous land. Like a vile sexual deviant that puts trophies of his victims displayed in public for all to see. As terrible as that sentence sounds, it is nothing close to the realities the Indigenous face. They are funding a genocide in spite of you all. There can be no reconciliation while they cause yet another genocide of an ethnic group. They lied about reconciliation.

Although I have given up on Canada, I have not given up on the you. If the first peoples of turtle island decide to flex their sovereignty and reoccupy unceded land where the house of commons was illegally built, and has remained for over 100 years, a time frame long enough to have this rectified, I will stand by your side.

My only reply to your words of Skoden will be my fists in the air. Skoden.

TWO ROW TIMES MARCH 13TH, 2024 6
Volume 11, Issue 29 Make advertising cheques payable to: Garlow Media Oneida Business Park Suite 124 50 Generations Drive, Box 1 Ohsweken, ON N0A 1M0 Thank you for your advertising support! Editor & Publisher: Jonathan Garlow Head of Production: Dave LaForce Writer: Jace Koblun Writer: Donna Duric Website Manager: Benjamin Doolittle Advertising Sales Co-ordinator: Marshall Lank Advertising Sales Executive: Christine Patton Advertising Sales Executive: Ashley Smith Distribution Manager: Tim Reynolds Brantford Distribution: Christian Kovac Main office: (519) 900-5535 Editorial line: (519) 900-6241 Advertising line: (519) 900-6373 For advertising information: ads@tworowtimes.com General inquiries: info@tworowtimes.com Website: www.tworowtimes.com OPINION editor@tworowtimes.com Warning: This article may be disturbing to some readers I WILL NOT BECOME A MONSTER

Red Dead Redemption 2 (RDR2)

Dive into the untamed beauty of the Wild West with Red Dead Redemption 2 (RDR2), an epic adventure that transcends mere gaming. This masterpiece isn’t just about being a cowboy; it’s about experiencing the raw essence of a bygone era, where every decision shapes your destiny. So mount your horse and join us as we explore why RDR2 is an adventure worth undertaking for players of all skill levels. RDR2 is an open-world action-adventure game set in the late 1800s, where you step into the worn boots of Arthur Morgan, a rugged outlaw navigating through a changing world. From the snowy peaks of the Grizzlies to the bustling streets of Saint Denis, the game’s vast map offers endless opportunities for exploration and discovery. But RDR2 is more than just its setting; it’s a journey of self-discovery and redemption. As Arthur, you’ll encounter a rich cast of characters, each with their own stories and motivations. From fellow gang members to colorful strangers you meet on

the road, every interaction shapes Arthur’s journey and the world around him. Survival in the Wild West isn’t easy, though. You’ll need to hunt for food, fend off rival gangs, and navigate the intricacies of the law. But fear not; RDR2 offers a wide array of activities to keep you entertained. Whether it’s playing poker in a dusty saloon, going fishing by the river, or simply riding through the countryside, there’s always something to do in the world of RDR2. One of the game’s standout features is its attention to detail. From the stunning visuals to the immersive sound design, every aspect of RDR2 feels meticulously crafted. Whether you’re watching the sunrise over the heartlands or engaging in a tense shootout, the world of RDR2 feels

alive and vibrant, begging to be explored. And let’s not forget about the captivating story. As Arthur Morgan, you’ll embark on a journey of self-discovery, grappling with themes of loyalty, betrayal, and redemption. It’s a story that will keep you hooked from start to finish, with twists and turns aplenty along the way.

What’s remarkable about RDR2 is its accessibility to players of all skill levels.

Whether you’re a seasoned gunslinger or a newcomer to the frontier, the game offers plenty of options to tailor your experience. From customizable difficulty settings to helpful tutorials, RDR2 ensures that everyone can enjoy the thrill of the wild west.

So why wait? Grab your hat, holster your gun, and immerse yourself in the world of Red Dead Redemption 2. Whether you’re chasing down outlaws, bonding with your horse, or simply taking in the breathtaking vistas, there’s never been a better time to experience all that the wild west has to offer.

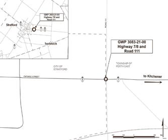
Notice of Public Information Centre

Preliminary Design and Class Environmental Assessment Study

Highway 7/8 and Road 111 Intersection Improvements (GWP 3083-21-00)

THE PROJECT

The Ontario Ministry of Transportation (MTO) has retained Egis (formerly McIntosh Perry) to undertake the Preliminary Design and Class Environmental Assessment (Class EA) Study for the Highway 7/8 and Road 111 intersection improvements, boundary of the City of Stratford and the Township of Perth East, County of Perth.

The purpose of this notice is to invite interested stakeholders to participate in an Online Public Information Centre (PIC). The PIC is being held to present the study process, outline the existing conditions, the list of alternatives, and receive input on the proposed improvements within the study area. The Online PIC will be available for a 30-day comment period from March 6, 2024 to April 5, 2024

To view the PIC material and provide comments, please visit the project website at www.highway7and8perthcountyroad.com

THE PROCESS

The Preliminary Design is following the approved planning process for a Group ‘B’ project in accordance with the Class EA for Provincial Transportation Facilities (2000).

COMMENTS

We encourage you to visit the Project Website at any time during the study for updates on this project. Project information including study notices, background information, PIC material, and the Transportation Environmental Study Report (TESR) will be will be made available as the study progresses. If you require further information or have accessibility requirements in order to participate, please contact one of the individuals named below. Any comments or questions can be directed to one of the following project team members:

Mr. Steven Pilgrim, P.Eng.

Project Manager

Egis

1-1329 Gardiners Road Kingston, ON K7P 0L8 tel: 343-344-2629 or toll-free: 1-888-348-8991

e-mail: highway7and8@mcintoshperry.com

Ms. Wendy Xu, P.Eng.

Project Engineer

Ministry of Transportation

3rd Flr, 659 Exeter Road, London, ON N6E 1L3 tel: 548-588-1937

e-mail: wendy.xu@ontario.ca

Information collected will be used in accordance with the Freedom of Information and Protection of Privacy Act. With the exception of personal information, all comments become part of the public record. If you have accessibility requirements in order to be able to participate in this study, please contact one of the project team members listed above.

TWO ROW TIMES MARCH 13TH, 2024 7
Here To There Market Events Inc. is thrilled to bring the Ayr Farmers Market back for its third season! Come out this season to support your local farms, food and artisan vendors! Enjoy a delicious meal from one of our weekly food trucks, check out one of our entertainers or go for a carriage ride around the park! For more information on the market please visit: heretotheremarketevents.com

Assembly of First Nations (AFN) National Chief Cindy Woodhouse met with Prime Minister Justin Trudeau to discuss First Nations’ rights, priorities, and needed investments leading into the 2024 Federal Budget.

“I appreciate the government’s indication of willingness to advance First Nations priorities,” said Woodhouse on Mar.

5. “Today’s meeting with Prime Minister Justin Trudeau was an opportunity to discuss critical issues, to reflect on our achievements, and to identify where more efforts are needed, especial-

ly in education, policing, and economic reconciliation.”

Woodhouse said the federal government’s commitment to closing the infrastructure gap by 2030 has not been met.

“Canada has not followed through on its commitment to create policing legislation that recognizes First Nations jurisdiction for policing,” she said. “It’s time for the federal government to align its actions with its commitments and engage in meaningful, good faith discussions with First Nations.”

The national chief added the two also discussed the upcoming federal budget and the opportunity for Canada to commit substantial investments in

First Nations’ education, infrastructure, and economic reconciliation.

“First Nations priorities are Canada’s priorities. I urged the Prime Minister to view these investments to not only address existing gaps but as proactive measures to build a stronger, more inclusive Canada. I also raised the importance of consistent and predictable multiyear funding for First Nations, including the AFN to ensure we can all continue the important work and actively participate as equal partners in our joint initiatives,” she said.

Woodhouse said the discussion highlighted the value of continued collaboration and partnership.

“Progress has been made, but much work remains. I remain dedicated to working with all Parliamentarians to ensure that the needs of First Nations are met in a manner that upholds, respects, and advances First Nations rights and well-being,” she said.

Secondary

Junior & Senior Kindergarten Mohawk & Cayuga Immersion Students

HOW TO APPLY

to make arrangements to pick-up and submit applications

Application packages including all completed forms and documentation can be submitted digitally through

email

advocacy organization that works to advance the collective aspirations of First Nations individuals and communities across Canada on matters of national or international nature and concern.

TWO ROW TIMES MARCH 13TH, 2024 8
The AFN is a national School and Kindergarten to grade 2 to be considered for admission.
1.
2. Grade 9-12 Secondary School Students who want culturally enriched Ministry approved courses taught in English, Cayuga, and Mohawk language.
i) Please email Registrar Suzy Burning at registrar@kgschool.ca or by calling (905)768-7203
to registrar@kgschool.ca
ii)
Application packages can be accessed at kgschool.ca COPIES OF THE FOLLOWING DOCUMENTATION MUST BE SUBMITTED IN ORDER FOR THE APPLICATION TO BE CONSIDERED COMPLETE: application deadline: Wednesday, March 27, 2024 * Once classrooms are filled no more applications will be accepted * Kawenní:io/Gaweni:yo School Elementary & Secondary School 3201 2nd Line Rd., Hagersville ON N0A1H0 (905) 768-7203 | kgschool.ca NOW ACCEPTING APPLICATIONS FOR ADMISSION FOR THE SCHOOL YEAR Birth Certificate Health Card Status Card (Front & Back) Immunization Record (Up to date) √ √ √ √ 2024 - 2025 Stay home if you feel unwell If you have a fever cough and difficulty breathing seek medical attention and call in advance IF YO OUGH AND DIFFICULTY BREATHING SEEK MEDICAL CARE EARLY 2 M / 6 FT S I X N A T I O N S M O B I L E C R I S I S S E R V I C E S The Six Nations Mobile Crisis Services offers a 24/7 Crisis Line A person seeking crisis support will be connected with a Crisis Response Worker The Six Nations Mobile Crisis Services offers Texting crisis response Texting is available Monday to Friday from 8 30am - 4 00pm A person seeking crisis support through text will be connected with a Crisis Response Worker an d receive messages through text The Six Nations Mobile Crisis Services offers Live Chat crisis response Live Chat or Instant Messaging is done on your computer over the internet Live Chat (Messaging) is available Monday to Friday 8 30am - 4 00pm The Six Nations Mobile Crisis Services is a confidential service offering crisis support to Six Nations of the Grand River The new features run through a program which offers safe and encrypted technology to keep conversations confidential and secure Source World Health Organ zation 2 4 / 7 C R I S I S P H O N E L I N E 866-445-2204 or 519-445-2204 L I V E C H A T ( M E S S A G I N G ) Link on sixnationscovid19 ca under Crisis Support Live Chat T E X T M E S S A G I N G 226-777-9480 C O N F I D E N T I A L S E R V I C E S AFN national chief meets with PM on FN priorities AFN AND TRUDEAU.JPG: ASSEMBLY OF FIRST NATIONS NATIONAL CHIEF CINDY WOODHOUSE AND PRIME MINISTER JUSTIN TRUDEAU MET ON MARCH 5 TO TALK ABOUT FIRST NATIONS’ RIGHTS. PHOTO COURTESY OF THE AFN JACE KOBLUN jace@tworowtimes.com TWO ROW TIMES M-One Manufacturing Seeking Full-Time: MK 8 / MK9 Operator & MK8 / MK9 Technician Rate of pay TBA depending on experience. Please send resume to candacec@ thebearpawgroup.ca or drop off in person at 43 Mohawk Rd
iii)
TWO ROW TIMES MARCH 13TH, 2024 9

Stacey Hill a trailblazing female police officer standing up for Indigenous citizens

Stacey Hill has spent 27 years making waves in a male-dominated profession, not just as a woman, but a Haudenosaunee and Anishinaabe woman.

And she’s not finished yet.

Hill, who grew up on the Mississaugas of the Credit reserve, is the first Indigenous liaison officer

with the Hamilton Police force.

She has spent the past three decades forging relationships between police and Indigenous residents in the city, a relationship historically marked by distrust.

She is currently involved in several community-based projects in Hamilton centred on community consultation, including working with the Circle of Beads (Hamilton’s Indigenous Consultation Circle) to

assist Indigenous people navigate interactions with police.

Indeed, her Anishinaabe speaks to her life calling: ‘Biidaasimi goobiwi qwe’ - which means “Woman who stands up for us/the people”.

She has both Anishinaabe and Haudenosaunee heritage and belongs to the Bear (Mother side) and Marten (Father side) Clans.

Hill was part of the police team that worked with elders and Indige-

nous activists protesting the building of the Red Hill Valley Parkway in the early 2000s. She always went in plainclothes and refused to ever interact with the people in uniform.

“A lot of the elders were asking for their Indigenous officers. You don’t go in with weapons. You don’t go in uniform.”

Hill said she knew from early on in her career that Indigenous people needed to see

their own in policing.

“I knew that Indigenous relations were going to be important for me. Our people aren’t well represented outside of tribal services. We don’t have the faces our home territory would. It’s important to let Indigenous people know I’m here and I’m on the job.”

And in a city like Hamilton, where she says roughly 16,000 Indigenous people live, it’s important to have officers

like her on the job.

People can reach out to her if they don’t feel comfortable reaching out to a non-Indigenous officer, she said.

She’s also available for Indigenous community members for matters such as early intervention inquiries, advice and consultation, and providing support and resources to both Indigenous victims of crime and the accused.

Continued on page 14

A
both in Ontario and around the world.
TWO ROW TIMES MARCH 13TH, 2024 10
Mohawk
Start with a College Diploma, Finish with
University Degree. Find your pathway mohawkcollege.ca/FindYourPathway
College credential opens many doors. Explore the pathways transfer agreements with a long list of colleges and universities,
a
TWO ROW TIMES
TWO ROW TIMES MARCH 13TH, 2024 11
2173 Hwy # 3 E. Jarvis 519.587.2273 haldimandtractor.ca 1324 Colborne St. W. Brantford 519.449.2500 branttractor.ca 3503 Hwy # 3 W. Simcoe 519.426.1090 norfolktractor.ca

*while supplies last *while supplies last

Craft Vendors Craft Vendors
519)754-7421 519)754-7421

ADDITIONS TO RESERVE Process & Review

The Federal Government is looking for feedback from First Nations Reserves about the Additions to Reserve Process. SNGR Lands & Resources invites you to join an info session about this process.

Wednesday, March 20

Six Nations Community Hall (1738 Fourth Line)

5:00 - Doors Open

5:10 - Presentation Begins

JOIN OUR SESSION!

Learn about the current process

Discuss issues and potential solutions

Provide feedback from our community Dinner will be provided

For more info, contact Lands & Resources at (519) 753-0665 or lrlso@sixnations.ca

STEAM ACADEMY COMMUNITY NIGHT

MARCH 20, 2024

4:30 - 7:00 pm

2160 4TH LINE, OHSWEKEN, ON

You are invited to enjoy a community supper/vendor market while learning about the unique programming at STEAM Academy

- e-sports - robotics - co-op/apprenticeships - art/music - early college courses - culture

FREE Dinner & refreshments, local craft vendors & door prizes/ gift cards to be won!

Standing up for Indigenous citizens

Continued from page 10

“You can always represent in different ways. You want to create those relationships and build those bridges.”

Hill was approached three years ago to take the position of Indigenous liaison officer and she took the post in 2022.

“There was a big push for it in Hamilton. All the stars seemed to align. It’s been my lifelong dream to be able to do this kind of thing in a non-Indigenous police service.”

It’s not just her ancestral background that makes Hill a force to be reckoned with.

“Being one of the few women in a male-dominated profession and being a strong Indigenous woman coming into this role is huge for me. Our people, before colonization, our women were the speakers, they were the ones that held that space. It’s a huge honour to be able to hold that space again.”

Her role, she believes, gives Indigenous people in Hamilton “a warm place to fall. I know I’m still a cop but I’m indigenous first. It is who I am.”

The brass at the Hamilton Police always know she’s Indigenous first, she says.

“When I leave this place (after a shift), I’m not a cop but I am Indigenous.”

Hill says she can retire next year but she wants to stay on until the torch can be passed on because there is a lot of work yet to do.

She says the position has gained allies but she’s the only person doing it and would eventually like some help.

“It’s a lot of work. I’m the only person doing it. It’s great to see that happening now. We still have a ways to go. You have the largest off-reserve population here in Hamilton and we need to be represented. It’s always been a huge deal for me.”

Hill says there’s still

some bias in the police force that needs addressing.

“I think everyone has their bias and prejudice. I personally work with a great number of people that are huge allies. There are those bad seeds that come to the service. I’m hoping with education those will either lessen or go away.”

Hill and others are working on delivering cultural competency training for police officers, both bosses and new recruits.

She also works to educate Indigenous youth on human trafficking, as Indigenous people are more susceptible to human trafficking than other demographics in the city and surrounding areas.

Hill’s office - adorned with traditional medicines and artwork - and her private meeting space is located at the Division 30 (Mountain) Station, 400 Rymal Rd E.

TWO ROW TIMES MARCH 13TH, 2024 14 MARCH 13TH, 2024

Funding for Indigenous-led projects

address flaws

in justice system

Programs and resources are needed in every stage of the justice process

Indigenous people are overrepresented in the Canadian justice system, whether as victims, accused, or offenders.

Access to Indigenous-led justice services across Canada continues to be an important way to achieve systemic change in the justice system. Programs and resources are needed in every stage of the justice process to create this change, according to a March 12 press release.

Minister of Justice and Attorney General of Canada Arif Virani joined Executive Director of Aboriginal Legal Services Chantell Barker and Parliamentary Secretary to the Minister of Environment and Climate Change Julie Dabrusin to announce funding of more than $2.1 million to support three Indigenous-led projects that aim to address the overrepresentation of Indigenous people in Canada’s justice system.

“Investing in Indigenous-led projects that address the systemic barriers that First Nations, Inuit and Métis face in the justice system is key to achieving lasting change. Aboriginal Legal Services continues to make a significant difference for urban Indigenous

communities in Toronto. Collaborative approaches such as these projects and working together to advance reconciliation are how we will create a better future,” said Virani.

The first project supports initiatives under the Community Council Program, a criminal diversion program for Indigenous offenders in Toronto. Initiatives include the Giiwedin Anang Council, an Indigenous Family Dispute Resolution program that supports civil family mediation; an evaluation of civil and family mediation; and a community-based Gladue Aftercare program, which provides the accused with services to support their healing. Justice Canada is providing $1,290,394 over six fiscal years.

“Helping address and prevent the overrepresentation of Indigenous people in the justice system continues to be an important aspect of advancing reconciliation and achieving systemic change. Today’s announcement reaffirms Canada’s commitment to projects like these that reflect the experiences of Indigenous people while supporting culturally appropriate, Indigenous-led and community-based justice services,” said Dabrusin.

The second project sup-

Continued on page 16

Spring is the perfect time to go over a natural gas safety checklist to make sure your home is protected from natural gas leaks.
TWO ROW TIMES MARCH 13TH, 2024 15 REGISTER NOW https://bit.ly/SNJHonouringLovedOnes Tuesday Johnson-MacDonald t: 519 445 1794 e:president@tapresources.ca EVENT PRODUCED BY: HOSTED BY: Honouring Our Loved Ones MARCH 28, 2024 SIX NATIONS COMMUNITY HALL 1738 Fourth Line Join us for an evening of healing and well-being as we honour and recognize loved ones we have lost and those going through difficult times due to trauma they have experienced, past and present. Listen and Share the story of your loved one. Healing as a community will help strengthen us as we move forward in life and as a community. Learn about traditional practices of grieving from guest speakers. There will be a network of service providers at the event that you will be able to meet. There will be a community dinner and a social dance to lift up our spirits. Come join us! Seating is limited so please register early.
www.sixnatgas.com
TWO ROW TIMES
JUSTICE SYSTEM.JPG: ACCESS TO INDIGENOUS-LED JUSTICE SERVICES ACROSS CANADA CONTINUES TO BE AN IMPORTANT WAY TO ACHIEVE SYSTEMIC CHANGE IN THE JUSTICE SYSTEM. PHOTO BY TINGEY INJURY LAW FIRM ON UNSPLASH

THEDECIDING FACTOR:ATTEND FANSHAWE’S OPENHOUSE

THEDECIDING FACTOR: ATTEND FANSHAWE’S OPENHOUSE

Ifyou’restrugglingtodecidewhatto studyandwheretogotocollege,many studentsfindanOpenHouse experiencehasbeentheirdeciding factor.AttendingOpenHousehasbeen themake-itorbreak-itexperiencefor manythatultimatelyleadsthemtotheir decision.

Ifyou’restrugglingtodecidewhatto studyandwheretogotocollege, manystudentsfindanOpenHouse experiencehasbeentheirdeciding factor.AttendingOpenHousehas beenthemake-itorbreak-it experienceformanythatultimately leadsthemtotheirdecision.

Thisspring,Fanshawewillhostan OpenHouseon Saturday,March23 from10a.m.to2p.m. Wehopeyou’ll visitustoexploreourcampuses,meet facultyandcurrentstudentsandask yourquestionsaboutstartingcollege.

3.Explorethecampus

Thisisyourchancetoseeyour campus!

howlargeandvariedthecampus isandseethedifferentspaces you’llhaveavailabletoyouto study,relaxorhangoutwith friends.

Explorestate-of-theartlabsand learningspaces,modernwellness facilitiesandon-campusresidences. It’stimetofindouthowlargeand variedthecampusisandseethe differentspacesyou’llhaveavailable toyoutostudy,relaxorhangout withfriends.Takethisopportunityto envisionyourselfinthegardensin springbetweenclassesorgrabbing abitetoeatattheOutBackShack, Fanshawe’son-campusrestaurant.

Fanshawerecentlyopened InnovationVillage,anew95,000 sq.ft.spaceintheheartofthe LondonCampus.

Acknowledgementofthe contributionsmadebyIndigenous Peoplestooursociety,historyand environmentisalsoembeddedin thespace.FromtheKalihwiyo Circle,Indigenousdesign elements,muralsandlandscaping, InnovationVillageblends Indigenousthemesthroughout.

Funding for Indigenous-led projects address flaws

Continued from page 15

ports the Gladue Program. Funding will help Aboriginal Legal Services write Gladue Reports. Glaude Reports are pre-sentencing reports prepared following a guilty plea or a finding of guilt. They include information on the unique circumstances of the offender and of Indigenous people and provide recommendations to the court regarding appropriate sentencing. Justice Canada is providing $598,309 over six fiscal years.

over-incarceration of Indigenous people in the justice system by recognizing the importance of culturally responsive alternatives and solutions,” said Barker.

Courts and how they incorporate Gladue Principles. Justice Canada is providing $249,120 over three fiscal years.

Justice Canada is providing funding for these projects through the Indigenous Justice Program. This Program supports Indigenous projects and initiatives that offer alternatives to mainstream justice processes in appropriate circumstances.

Thisfall,Fanshawewillhostan OpenHouseon Saturday,October 28from10a.m.to2p.m. Wehope you’llvisitustoexploreour campuses,meetfacultyandcurrent studentsandaskyourquestions aboutstartingcollege.

4.VisitourIndigenousstudent spaces

4.VisitourIndigenousstudent spaces

Tolearnmoreandpre-register,please visit: openhouse.fanshawec.ca

Therewillbealottoseeanddoduring OpenHouse;herearefivetipsto makingthemostofyourOpenHouse experienceatFanshawe.

Tolearnmoreandpre-register, pleasevisit: openhouse.fanshawec.ca Therewillbealottoseeanddo duringOpenHouse;herearefive tipstomakingthemostofyour OpenHouseexperienceat Fanshawe.

1.Comemeetourstaffinthe InstituteofIndigenousLearning!

Whetheryou'reStatusorNonStatusFirstNations,MétisorInuit, theInstituteofIndigenousLearning iswaitingtowelcomeyou.

1.Comemeetourstaffinthe InstituteofIndigenous Learning!

Ourfriendlyandknowledgeable staffcanhelpsupportyouin exploringprogramoptionsand offercareerguidance.

2.Getquestionsansweredabout fundingyoureducation

Whetheryou'reStatusorNonStatusFirstNations,MétisorInuit, theInstituteofIndigenousLearning iswaitingtowelcomeyou. Ourfriendlyandknowledgeable staffcanhelpsupportyouin exploringprogramoptionsandoffer careerguidance.

Grabsomefoodandvisitour IndigenousStudentHub!Hereyou willfindculturallysupportive servicesandprograms.Inaddition toprovidingcounseling,referrals andstudentactivities,thehubis alsoameetingplaceforFirst Nationspost-secondaryeducation counsellorsandtheirstudents.

Grabsomefoodandvisitour IndigenousStudentHub!Hereyou willfindculturallysupportive servicesandprograms.Inaddition toprovidingcounseling,referrals andstudentactivities,thehubis alsoameetingplaceforFirst Nationspost-secondaryeducation counsellorsandtheirstudents.

TheIndigenousStudentHub includesacomputerlabandlaptop area,placestostudy,astudent lounge,meetingroomsandkitchen facilities.

TheIndigenousStudentHub includesacomputerlabandlaptop area,placestostudy,astudent lounge,meetingroomsandkitchen facilities.

“In the spirit of Truth and Reconciliation, today’s announcement is very exciting for Aboriginal Legal Services and the people we serve. This funding allows Aboriginal Legal Services to provide a safe space for Indigenous people to speak their truth, address root causes, and restore balance within themselves, their families, and the community. For reconciliation to occur, we must work together to address the

The third project supports Aboriginal Legal Services to prepare a needs assessment for the Toronto Courthouse and Bail Centre Project. This assessment, which is underway, will address the challenges and opportunities presented by the centralization of the Gladue Courts in Toronto. A key focus of this project will be to ensure greater First Nations, Inuit and Métis input into decisions about the Gladue

The announcement supports Canada’s efforts to advance reconciliation and respond to the Truth and Reconciliation Commission of Canada’s Calls to Action 30 and 31.

www.patreon.com/2RT

Whetheryou’rereceiving sponsorshipfromyourcommunity orpayingforcollegethrough bursaries,scholarshipsorthe OntarioStudentAssistance Program(OSAP),wecanhelpyou findthebestwaytofinanceyour education.

2.Getquestionsansweredabout fundingyoureducation

Whetheryou’rereceiving sponsorshipfromyourcommunity orpayingforcollegethrough bursaries,scholarshipsorthe OntarioStudentAssistanceProgram (OSAP),wecanhelpyoufindthe bestwaytofinanceyoureducation.

TheFinancialAidandStudent Awardsofficeprovidesfinancial supportandadvicetohelp studentsfundtheircollege education.Weareheretoassist withOSAP,scholarships,grants, bursariesandtheWorkStudy program.Financialplanning, includingbudgetadvising,isalso available.

TheFinancialAidandStudent Awardsofficeprovidesfinancial supportandadvicetohelpstudents fundtheircollegeeducation.Weare heretoassistwithOSAP, scholarships,grants,andbursaries aswellastheWorkStudyprogram. Financialplanning,includingbudget advising,isalsoavailable.

Learnmoreaboutpayingfor college:www.fanshawec.ca/ payingforcollege

3.Explorethecampus

Thisisyourchancetoseeyour campus!

Learnmoreaboutpayingfor college: fanshawec.ca/ payingforcollege

Explorestate-of-theartlabsand learningspaces,modernwellness facilitiesandon-campus residences.It’stimetofindout

BesuretocheckouttheKalihwíyo Circle,agatheringplacenestled insidetheLibraryLearning Commons.Thecircleisatributeto Indigenousstories,waysofbeing andbeliefs.Asaresult,much thoughtwasgiventothe architecturalintegrationofthese Indigenousbeliefs.

BesuretocheckouttheKalihwíyo Circle,agatheringplacenestled insidetheLibraryLearning Commons.Thecircleisatributeto Indigenousstories,waysofbeing andbeliefs.Asaresult,much thoughtwasgiventothe architecturalintegrationofthese Indigenousbeliefs.

Thecircleprovidesawelcoming placeforworkshops,summer camps,exhibitions,gatherings, smudging,pipeceremonies,landbasedlearningandotherevents.

Thecircleprovidesawelcoming placeforworkshops,summer camps,exhibitions,gatherings, smudging,pipeceremonies,landbasedlearningandotherevents.

5.Itcomesdowntoafeeling Foralotofstudents,itcomesdown tothefeeling.Doesthecampus havetherightenergyforyou?Are peoplehappyandexcitedtobe here?Doesbeingherefeelrightto you,orcouldit?

5.Itcomesdowntoafeeling Foralotofstudents,itcomes downtothefeeling.Doesthe campushavetherightenergyfor you?Arepeoplehappyand excitedtobehere?Doesbeing herefeelrighttoyou,orcouldit?

Choosingwhichcollegetoattend andwhichprogramtotakecanbea harddecision,butattendingOpen Houseeventsfortheschoolsyou areconsideringcanmakeitalot easier.Fanshawe’sOpenHouseis Saturday,October28from10a.m. to2p.m.andnottobrag,butwe’re knowntoofferoneofthebestOpen Houseexperiencesaround!

Choosingwhichcollegetoattend andwhichprogramtotakecanbe aharddecision,butattending OpenHouseeventsfortheschools youareconsideringcanmakeita loteasier.Fanshawe’sOpenHouse isSaturday,March23from10a.m. to2p.m.andnottobrag,but we’reknowntoofferoneofthe bestOpenHouseexperiences around!

Formoreinformationandtopreregister,pleasevisit openhouse.fanshawec.ca

Formoreinformationandtopreregister,pleasevisit openhouse.fanshawec.ca

TWO ROW TIMES MARCH 13TH, 2024 16
2022 CHEVROLET SILVERADO 1500 Custom Trail Boss CrewCab 4x4 Z71 6.2L8cyl 6’7”Box 42,684KM $52,99500 PLUS HST & LICENSE FINANCING AVAILABLE 2022 CHEVROLET SILVERADO 3500 HD WT RegCab 4x4 DRW 11’4”FlatBed 6.6L8cylDiesel 47,564 KM $69,99500 PLUS HST & LICENSE FINANCING AVAILABLE 2018 CHEVROLET SILVERADO 1500 LT CrewCab 4x4 5.3L 5’7”Box Nav BackUpCam 121,955KM $33,99500 PLUS HST & LICENSE FINANCING AVAILABLE 2020 NISSAN ROGUE SV AWD 2.5L4cyl RoofNavHeated Seats&SterringWheel 117,883KM $23,99500 PLUS HST & LICENSE FINANCING AVAILABLE 2020 CHEVROLET IMPALA Premier 3.6L6cyl NavRoofLeather HeatedSeatsBackUpC 128,679 KM $26,99500 PLUS HST & LICENSE FINANCING AVAILABLE 2022 CHEVROLET SILVERADO 2500 HD LT RegCab4x4 Z71 6.6L Diesel 8ftBox HeatedSeats 48,815KM $72,99500 PLUS HST & LICENSE FINANCING AVAILABLE SALES&LEASINGOFHIGHQUALITYUSEDCARS,TRUCKS&VANS! HELPINGWORKINGFAMILIESRE-ESTABLISHTHEIRCREDIT! ASKABOUTOUREXTENDEDWARRANTIES! LEASERETURNS–SAFETIED–LATEMODELS–LOWINTEREST WESERVICEWHATWESELL–NOHIDDENFEES 230LyndenRoad,Brantford,ON,N3T5L8 (besideGalaxyCoinWash) www.lyndenautodepot.com519.752.4535 2022CHEVROLETMALIBU LT1.5L4cylTurbo HeatedSeatsRemoteStart BackUpCam LeaseReturn85,244KM $23,99500 PLUSHST&LICENSE FINANCINGAVAILABLE 2021FORDF-150 XLTSuperCab4x43.3L6cyl6'5'Box BackUpCam LeaseReturn61,678KM $37,99500 PLUSHST&LICENSE FINANCINGAVAILABLE 2021CHEVROLET SILVERADO1500 LTCrewCab4x4Z71 3.0L6cylDuramaxDiesel6'7"Box LeaseReturn46,872KM $51,99500 PLUSHST&LICENSE FINANCINGAVAILABLE 2021HYUNDAISANTAFE EssentialFWD2.5L4cylHeatedSeats& SterringWheel 47,388KM $29,99500 PLUSHST&LICENSE FINANCINGAVAILABLE 2017FORDF-150 XLTSuperCab4x42.7L6cylEcoboost 6'7"Box LeaseReturn223,935KM $23,99500 PLUSHST&LICENSE FINANCINGAVAILABLE 2023CHEVROLET SILVERADO2500 HDCustomCrewCab4x46.6L8cyl DuramaxDiesel6'10"Box 25,178KM $71,99500 PLUSHST&LICENSE FINANCINGAVAILABLE PLEASEBRINGYOURSTATUSCARDANDPAYNOTAX SALES&LEASINGOFHIGHQUALITYUSEDCARS,TRUCKS&VANS! HELPINGWORKINGFAMILIESRE-ESTABLISHTHEIRCREDIT! ASKABOUTOUREXTENDEDWARRANTIES! LEASERETURNS–SAFETIED–LATEMODELS–LOWINTEREST WESERVICEWHATWESELL–NOHIDDENFEES Lynden AUTODEPOT 230LyndenRoad,Brantford,ON,N3T5L8 (besideGalaxyCoinWash) www.lyndenautodepot.com519.752.4535 2022CHEVROLETMALIBU LT1.5L4cylTurbo HeatedSeatsRemoteStart BackUpCam LeaseReturn85,244KM $23,99500 PLUSHST&LICENSE FINANCINGAVAILABLE 2021FORDF-150 XLTSuperCab4x43.3L6cyl6'5'Box BackUpCam LeaseReturn61,678KM $37,99500 PLUSHST&LICENSE FINANCINGAVAILABLE 2021CHEVROLET SILVERADO1500 LTCrewCab4x4Z71 3.0L6cylDuramaxDiesel6'7"Box LeaseReturn46,872KM $51,99500 PLUSHST&LICENSE FINANCINGAVAILABLE 2021HYUNDAISANTAFE EssentialFWD2.5L4cylHeatedSeats& SterringWheel 47,388KM $29,99500 PLUSHST&LICENSE FINANCINGAVAILABLE 2017FORDF-150 XLTSuperCab4x42.7L6cylEcoboost 6'7"Box LeaseReturn223,935KM $23,99500 PLUSHST&LICENSE FINANCINGAVAILABLE 2023CHEVROLET SILVERADO2500 HDCustomCrewCab4x46.6L8cyl DuramaxDiesel6'10"Box 25,178KM $71,99500 PLUSHST&LICENSE FINANCINGAVAILABLE PLEASEBRINGYOURSTATUSCARDANDPAYNOTAX

SPORTS

know the score.

First Métis player since 1900s to play for Toronto Maple Leafs

TORONTO — The Toronto Maple Leafs welcome their newest member of their team after they acquired Connor Dewar in a trade with the Minnesota Wild. They acquired Dewar in exchange for forward Dmitry Ovchinnikov and a 2026 fourth-round draft pick last Friday.

Dewar has 10 goals, 14 points, 20 PIM and 94 hits in 57 appearances with Minnesota this season. The 24-year-old is likely to serve in a bottom-six capacity with the Maple Leafs.

Dewar is considered a penalty kill specialist who can get in on the forecheck and disrupt the opposition. He also brings speed, versatility and aggression to the Maple Leafs lineup. Toronto needed help with their penalty kill, which has been struggling, and sits 22nd in the league with a 77.5%.

Dewar hails from The Pas, Manitoba, Canada, and will be the second player of Métis descent to play for the Maple Leafs since Darcy Tucker. Tucker is a former Canadian professional ice hockey player. He played most of his National Hockey League (NHL) career with the Toronto Maple Leafs. A sixth round draft choice, Tucker began his

NHL career with the Montreal Canadiens. Throughout his NHL career he also played for the Tampa Bay Lightning and the Colorado Avalanche. Tucker was born in Castor, Alberta, but grew up in Endiang, Alberta. Tucker is of Métis descent.

Last November, it was reported that Dewar explained that pride in his Red River Métis heritage knows no bounds.

In fact, Dewar invited the makers of Becoming Wild, the YouTube Series on young Wild players, to come to his hometown in

The Pas, to meet his family and friends. This visit included the opportunity to spend time with his father, Jade, who has a serious grasp on Métis history and the Dewar family’s place in it.

According to The Hockey Writers, Dewar started

his junior career by spending four seasons in the Western Hockey League (WHL) with the Everett Silvertips. During his time in the WHL, he was a productive player as in the first two seasons, he had 18 points and 30 points before taking off in his third. He

had 68 points in 68 games and kept that momentum going into his fourth and final year, where he scored 81 points in 59 games and was drafted by the Wild in the third round of the 2018 NHL Draft.

50th edition of Little NHL is underway this week in Markham

MARKHAM — This March break saw the start of one of the largest hockey tournaments in the country.

On March 10, an estimated 10,000 Indigenous hockey players and families from around Ontario descended upon Markham to visit, build friendships and strengthen skills at the Little Native Hockey League tournament, colloquially called ‘Little NHL.’ Looking back, the first tournament was held in 1971 with just 17 teams and 200 players taking part. This years tournament

was also coined as its 50th edition, garnering a record number of teams and athletes. Over 240 teams registered for Little NHL, an all-time record, with more than 4,000 Indigenous youth hitting the ice across 10 different rinks and culminating on March 14. More than 500 games will be played within that span. The tournament is also hosting a record number of female hockey players, with 38 all-female squads taking part.

The Six Nations of the Grand River Elected Council posted to Facebook on Monday March 11, offering

words of encouragement:

“We would like to wish the best of luck to all the athletes playing and representing our community! Play hard, and know that you make our community proud.”

The tournament theme this year is “Honouring the Water” which seeks to teach participants and the wider community about the water crisis in different Indigenous regions on Turtle Island. A documentary film Boil Alert, by Six Nations own Layla Staats, about the water crisis was screened twice last Sunday to support the theme and educate attendants.

TWO ROW TIMES MARCH 13TH, 2024 17
TORONTO — LAST FRIDAY, Connor Dewar, Métis, joined the Toronto Maple Leafs as the first Métis athlete since Darcy Tucker. Photo courtesy of the Hockey Indigenous Facebook page.

NLL’s Week 16 sees the Bandits make a case for play-offs

The season remains unique as several teams made upward movement in standings, while others levelled themselves. This season continues to take shape as the final countdown to the 2024 NLL Trade Deadline approach.

The league’s top teams continued to shine while nearly every other team is continues to fight to finish the season in a playoff position.

Current rankings in standings for Week 16 place the Toronto Rock still in first place, followed by the Albany FireWolves, San Diego Seals, Georgia Swarm, Halifax Thunderbirds, Buffalo Bandits who jumped two spots, Panther City Lacrosse Club, New York Riptide, Rochester Knighthawks, Calgary Roughnecks, Saskatchewan Rush, Philadelphia Wings, Las Vegas Dessert Dogs, Colorado Mammoth, and the Vancouver Warriors.

Unsurprisingly again this week, the Toronto Rock secured a win over the Colora-

do Mammoth, 12-7.

The Toronto Rock continue to be the team to beat of the NLL this season. Their Week 15 win saw the Rock shut the Mammoth out in both of late quarters and outscore them 9-0 over 30 minutes. Yes, the Rock have elite stars at every position, but what’s so impressive about this team is how they’ve managed to stay so dominate despite so many injuries and absences throughout the year. The Rock have solidified themselves as the top contenders to win the 2024 NLL Cup. Their next match will set them up against the Bandits.

This week, the Albany FireWolves showed a bit of back-and-forth as they earned a 13-8 win over the Vancouver Warriors, but sustained a 18-12 loss to the Rochester Knighthawks.

The FireWolves are still hot, but they were humbled a little bit in their second game of a back-to-back in Week 15. Doug Jamieson deserves to be in the Goaltender of the Year conversation, and the team’s success has been the product of a complete team effort for

the entire year. From Jamieson in net, to the defense in front of him, to Joe Nardella at the face-off dot and the unselfish offense up front, the FireWolves are solidly aiming at contending for the NLL Cup. They will move to rematch the Knighthawks.

The San Diego seals secured a 13-8 win over the Halifax Thunderbirds. The Seals bounced back from their tough Week 14 loss against the Rock with the win. The Seals took this past weekend’s games into their hands for the last three quarters, with an impressive performance. They allowed only four goals over the final 45 minutes of play. The Seals look to match up with the Calgary Roughnecks next.

In fourth place, the Georgia Swarm took a 13-12 over-time win against the Calgary Roughnecks. This

marks their second win in a row, and now head into their final four games of the season at home. All four of the teams they face are currently non-playoff teams. They are 6-2 this season in games decided by two goals or less, including 2-1 in overtime games. This makes them another shoe-in and possible cup contender. They’ll be playing the Philadelphia Wings this weekend.

Behind the Thunderbirds rests the newly sixth-placed Bandits, who earned an over-time win themselves 15-14 over the Saskatchewan Rush. The Bandits

The

needed to win their Week 15 matchup to avoid losing four in a row, and they succeeded. They found a way to grind out a win, as they could’ve fallen out of a playoff spot with a loss. With a handful of teams nipping at their heels, including some within a game of them in the standings, they’ll need to approach their remaining games with vigour. They have a high-stakes game approaching against the Rock this weekend, which could spell out an exciting comeback or a humbling rematch.

TWO ROW TIMES MARCH 13TH, 2024 18 MARCH 13TH, 2024 N G AM! R V I C E S ION 0, 2024 sisting with the development, ice delivery and care home paration of the annual service as required by the position’s and for any other duties that ervisor ply via email: resume in person, visit wadenideotco org or visit ard FALL/WINTER ATHLETE CELEBRATION We invite all athletes to register for the FALL/WINTER ATHLETES CELEBRATION
by scanning the QR Code or by following the link below: https://bit.ly/ FWACR TO ALL ATHLETES CALLOUT Athletes can also register by contacting: Leigh Thompson sncec@sixnations.ca
Register
event will take place
Six
Sports and Cultural Memorial Centre
from 5:30 - 7:20PM
at
Nations
on March 23, 2024
CANADA — THE NATIONAL LACROSSE LEAGUE SAW THE BANDITS MOVE UP IN STANDINGS, WHILE THE TOP TEAMS CONTINUED TO SOLIDIFY THEMSELVES. GREAT PERFORMANCES WERE SEEN BY DOUG JAMIESON OF THE FIREWOLVES, AND AUSTIN STAATS WHO SCORED FOUR GOALS OVER THE THUNDERBIRDS. PHOTO COURTESY OF THE NLL FACEBOOK PAGE, FROM MARCH 9, 2024, DEPICTING TEHOKA NANTICOKE DURING THE BUFFALO BANDITS MATCH AGAINST THE SASKATCHEWAN RUSH.

OUR PURPOSE

The Justice Department offers support to victims and those accused of a crime in Brantford, Cayuga, Hamilton and Six Nations. We work toward providing community members with resources to heal from crime, social tragedy, and the consequences of their intergenerational trauma. They also provide alternatives to the mainstream justice system to refrain from further harm.

The Justice Department represents principles of restorative justice and rehabilitation similar to Gladue.

Gladue principles are utilized to address Indigenous over-incarceration by looking at intergenerational and historic trauma faced by Indigenous communities like Six Nations. Justice programs and delivery of services to the community are guided by Haudenosaunee Legal Principles.

CONNECT WITH US

Phone Number: (226) 227-2192

Address: 1721 Chiefswood Road

Website & Social Media: sixnationsjustice.com, Six Nations Justice Department

DEPARTMENT LEAD

Tim Bucci

Our programs offered are as follows:

• Bail Verification program

• Restorative Justice program

• Gladue Aftercare program

• Indigenous Victims Services program

• Family and Criminal Law Information Clinic

• Community Standards/Bylaws program

LOOKING FORWARD

Community Standards program is currently involved in developing laws for Six Nations in draft, for review by Council and SN community.

Note: priorities include: Child Welfare, Environment, Residency and creation of a court / tribunal on reserve and working on enforcement component.

Restorative Justice program is running a pilot project with SN Elder to ensure RJ principles are delivered in a culturally appropriate manner>

Gladue Aftercare has multiple programs in development to assist meet the unique needs of the Six Nation Community.

Indigenous Victims Services program (IVS) will be expanding with additional IVS Advocates to meet the demand for services. The IVS program is also working towards operating as a 24/7 services.

Family Law & Criminal Law Information Clinic (FLIC/CLIC) is a growing program that we operate in collaboration with Legal Aid Ontario.

Due to community demand, FLIC/CLIC is planning to expand to offer two four hour clinics per week, instead of the current on per week.

HOW WE SERVE THE COMMUNITY

• Restorative Justice (RJ): Provides diversion services to youth (12+) and adults who have come into conflict with the law (charged and precharged).

• Indigenous Victim’s Services (IVS): provides Indigenous victims of crime, tragic and traumatic circumstances, with immediate supports. Indigenous Court Advocates provide court supports and referrals to other available services and programs. IVS

provides assistance for those dealing with the following, but not limited to: house fires, sudden deaths, suicides, intimate parter violence, family violence, assaults, robberies, break and entering and car accidents.

• Bail Verification (BV): entails both a verification of the accused’s information before the court, and supervision as an alternative to custody while awaiting a court decision, or trial.

• Gladue Aftercare (GAW) Program: A client led program that assists offenders in fulfilling the recommendations of their Gladue Report and any release conditions. GAW will provide community resources, can assist in the Gladue report process, and advocate for client’s best interest from a rehabilitative scope, to assist in healthy reintegration to the community.

OUR SUCCESS STORIES

Restorative Justice Program (RJP) provides services and support to Indigenous people accused of a crime. In 20221/22, RJP received 205 referrals.

“I learned that no matter, I can be a good person and learn from my mistakes... I have learned self discipline and that there is nothing wrong with asking for help. Just keep moving forward.”

• Family & Criminal Law Information Clinic (FLIC/CLIC): Offers an opportunity for a meeting with a lawyer, who can provide legal advice on Family and Criminal Law matters.

• Community Standards: Being updated to meet the community needs for present and future generations. This is being accomplished with community members input.

Indigenous Victims Services

Indigenous Victim Services provides case management, safety planning and relocation support for people who have experienced or are experiencing domestic violence

The IVS Team is successfully working with over 75 clients currently in the court system.

TWO ROW TIMES MARCH 13TH, 2024 19
Restorative Justice Program

Major

First Nation

of the Credit Full Time TBD March 21, 2024

Family Support Worker Mississaugas of the Credit Contract TBD March 21, 2024

First Nation

Behaviour

The

is brought to you by Employment Ontario

Canada. Only local positions are posted in the paper. For more positions in the surrounding area, visit our job board at www.greatsn.com!

apply for funding, book your intake appointment with an ETC by calling 519-445-2222 (Toll-Free long distance at 1-888 218-8230 or email us at info@greatsn.com.

TWO ROW TIMES MARCH 13TH, 2024 20 Job descriptions are available at GREAT Weekdays...Monday through Friday from 8:30-4:30pm 16 Sunrise Court, Ohsweken Phone: 519.445.2222 Fax: 519.445.4777 Toll Free: 1.888.218.8230 www.greatsn.com Position Employer/Location Term Salary Closing Date Position Employer/Location Term Salary Closing Date SIX NATIONS COUNCIL Private Home Visitor & School Age Early Years & Child Care Full Time $66,300 March 13, 2024 Child Care Facilitator Activity Assistant Iroquois Lodge, Health Services Part Time $25.00/ Hour March 13, 2024 Elder Companion Professional Services, Health Services Part Time $25.44/ Hour March 13, 2024 Junior Data Analyst Planning, Performance & Community, Full Time $52,900 March 13, 2024 Central Administration Communicative Disorders Assistant Child & Youth, Health Services Full Time $49,500 March 13, 2024 Times Child & Youth, Health Services Full Time $70,400 March 13, 2024 Occupational Therapist Assistant Child & Youth, Health Services Full Time $49,500 March 13, 2024 Health and Safety Officer Human Resources, Central Administration Full Time $63,200 March 20, 2024 Special Events/Programs Coordinator Parks and Recreation Full Time $27.20/ Hour March 20, 2024 Case Manager – RN x2 Home & Community Care, Health Services Contract $43.00/ Hour March 20, 2024 Admission/Concession Worker Parks and Recreation Part Time $23.08/ Hour March 20, 2024 Business Project Coordinator Six Nations Cannabis Commission Full Time $55,000 to March 20, 2024 $65,00 Public Relations Coordinator Communications, Central Admin Full Time $57,200 March 20, 2024 Administrative Assistant Iroquois Lodge, Health Services Full Time $25.44/ Hour March 27, 2024 RECE Stoneridge Child Care, Social Services Full Time $31.43/ Hour March 27, 2024 Fetal Alcohol Spectrum Child & Youth & Youth Health, Full Time $49,500 March 27, 2024 Disorder Coordinator Health Services Communicative Disorders Assistant Therapy Services, Health Services Contract $27.20/ Hour Until filled Speech Language Pathologist Therapy Services, Health Services Full Time $80,850 to Until filled $89,000 Speech Language Pathologist Child & Youth Health, Health Services Full-Time $80,850 to Until filled $89,000 SIX NATIONS AND NEW CREDIT Child Protection Worker - Family/Intake/ Ogwadeni:deo Full Time TBD March 13, 2024 Children in Care Private Home Visitor and School Age Ogwadeni:deo Full Time TBD March 13, 2024 Child Care Facilitator Lead Field Liaison Representatives Mississaugas of the Credit Full Time TBD March 14, 2024 First Nation HVAC Technician Grand Erie District School Board Full Time $28.02 to March 20, 2024 $31.53 Locksmith Grand Erie District School Board Full Time $28.02/ Hour March 20, 2024 Millwright Grand Erie District School Board Full Time $28.02/ Hour March 20, 2024 Director of Services Ogwadeni:deo Full Time TBD March 20, 2024 Policy Analyst Ganohkwasra Family Assault Full Time $70,000 March 21, 2024 Support Services Civil Designer First Nations Engineering Full Time TBD March 21, 2024 Services LTD. Registered Early Childhood Educator – Mississaugas of the Credit Full Time TBD March 21, 2024 Kindergarten Activities Program Facilitator First Nation Hospitality Associate Mississaugas of the Credit Full Time TBD March 21, 2024 First Nation Early Years Pedagogical Lead Mississaugas of the Credit Full Time TBD March 21, 2024 First Nation
Language/ Mississaugas of the Credit Full Time TBD March 21, 2024 Cultural Instructor (ALCI) First Nation
Support Worker Mississaugas of the Credit Full Time TBD March 21. 2024
Nation
Anishinaabemowin
Personal
First
Projects – Assistant Mississaugas
Full
$59,179
Full
TBD Until
Human
Ganohkwasra
Full
TBD Until
Support
Until
First
Kawenni:io/Gaweni:yo
Time TBD Until Filled Project Management Coordinator Six Nations of the Grand River Full Time $54,000 Until Filled Development Corporation Manager of Partnerships Six Nations of the Grand River Full Time TBD Until Filled Development Corporation Cook Six Nations of the Grand River Part Time TBD Until Filled Development Corporation Housing & Residential Property Manager Brantford Native Housing Full Time TBD Until Filled Principal Kawenni:io/Gaweni:yo Full Time/ $102,014 to Until Filled Permanent $129,943 Cook Ohsweken Speedway Full Time TBD Until Filled Kawenní:io/Gawęní:yo Teacher Kawenní:io/Gawęní:yo Full Time TBD Until Filled Resource Center Manager Reflexologist de dwa da dehs nye>s - Part Time/ TBD Until Filled Aboriginal Health Centre Contract Custodian Mississaugas of the Credit Casual $15.50/ Hour Until Filled First Nation Lab Technician and Developer Six Nations Polytechnic Part Time TBD Until Filled Kanien’kehá:ka Teacher Assistant for Kawenni:io/Gaweni:yo Full Time TBD Until Filled Elementary Classroom Positions Cook Mississaugas of the Credit Casual $16.90/ Hour Until Filled First Nation Kitchen Help Sade:konih TOJ TBD Until Filled Gas Bar Attendant Mississaugas of the Credit Part Time TBD Until Filled First Nation Supply Cook Mississaugas of the Credit First Nation Contract/ $16.90/Hour Until Filled Casual
Therapist Haldimand-Norfolk REACH
Time $47,343 to October 5, 2024
Unit Assistant Ogwadeni:deo
Time
Filled
Trafficking Counsellor
Family Assault
Time
Filled
Services Registered Practical Nurse Mississaugas of the Credit Full Time TBD
Filled
Nation Human Resource Coordinator
Full
GREAT Job
To
Board
and Service

ATTN:

ATTN:

send notices to ads@tworowtimes.com

MILLER: Eugene Clark

February 26, 1939 - March 7, 2024

Age 85 years

It is with great sadness that we share the passing of our dear father, brother, uncle, great uncle, great great uncle, grandpa, great grandpa, cousin, friend, and comedian. Loving father of Lisa, Toni, Eugene (“Beau”) (Kathy), Heath, Craig, Chad, Chris, and Brett. Dear grandfather to many grandchildren and great grandchildren. Brother of Shirley, Lois (Glen), Wayne “Snitzel” (Carla), Barb, and Linda “Skin”. He will be greatly missed by special cousin Marilyn, and many cousins and friends. Predeceased by wives Erna and Teresa. Children, Shelly, Erica, Marta, and Gregory, Parents Hersel and Gertrude, Siblings Russel “Sonny”, Marty, Dave “D.C.”, Bruce, and Roger “Yog”. He will be fondly remembered as a charmer and for his sense of humour.

Resting at Styres funeral home, 1798 Fourth line Ohsweken for visitation on Friday from 7-9pm where funeral service will be held on Saturday March 9, 2024 at 11 am. Burial Sour Springs Longhouse. The family extends a special thank you to Dr. Zack and Iroquois Lodge for their care. www.rhbanderson.com

The family of the late Sandy McNaughton would like to thank everyone for their thoughtfulness and kindness during this challenging time. Thank you to his sons Mark and Ryan for being there for their mother. Thank you to Chammy, Jodi and Chuck for all they did during our loss, it will never be forgotten. Thank you to Jessica, Mason, Cammy and Brady Boy for the strength you gave to your grandmother. To my brother and his wife Jim and Clarice Hill for your daily calls and visits. Thank you to Sandy’s sister Mary Lou for being with us through our loss. To our niece Tammy for driving and picking up her mother every day at the hospital. Thank you to the Six Nations Emergency team, the Brantford General Emergency team and especially to the Critical Care Unit nurses, the Respiratory team, and the doctors who gave wonderful care to Sandy. To Bill Lofthouse and his team making things easier for the family. A heartfelt thank you to everyone who made monetary donations, the donations of food and flowers. You are greatly appreciated.

Sincerely,

Judy, Mark, Ryan and families

Attention All Casino Fans!

The Six Nations Casino Bus Group has another Casino Trip Planned and you’re invited!

WHEN: Thursday, March 28, 2024

WHERE: Casino Rama

HOW MUCH: $35/PERSON includes $10 in SLOT PLAY

The Casino Bus will leave at 8:00 a.m. from the Dajoh/Community Hall

Parking lot and return back to Ohsweken around 7:00 p.m.

(SN Parks and Recreation have asked that you park vehicles along the fence line on the North Side of parking lot)

You can RESERVE YOUR SEAT TODAY by etransferring $35 to pipedreams10@gmail.com

OR you can pay in person on Monday., March 25, 2024 at DAJOH Cayuga Room from 6p.m. 8 p.m. EXACT CHANGE ONLY please!

Once $35 has been paid, no REFUNDS will be allowed. It will be your responsibility to sell your seat.

THIS TRIP IS A FIRST COME FIRST SERVE BASIS

The LAST DAY TO REGISTER IS: Monday, March 25, 2024.

LOOKING FORWARD TO SEEING EVERYONE!!

For more information please contact via email: pipedreams10@gmail.com or phone: 519 802 5799

TWO ROW TIMES MARCH 13TH, 2024 21
MARCH 13TH, 2024 22 TWO ROW TIMES
notices to ads@tworowtimes.com
of Thanks Coming Events Obituaries In Memoriam Metal Roofing Installation
send
Card
Celebration of Life for David Brent Hill (October 2, 1954-January 3, 2024). Will be held at Yogi’s Barn from 1-5pm. Pot Luck - Doors will be open at noon for set up. Hope to see you there.

Birthday Wishes

On your birthday, Mama Bear, we thank God for the precious gift of you. You are a constant reminder of His love and grace in our lives. May your day be filled with His blessings and abundant love.

Love

Rae & Les, Lil Bit & Easton, Becca & Matt, Keke & Keisha.

Every good gift and every perfect gift is from above and cometh down from the Father of lights, with whom is no variableness, neither shadow of turning. James 1:17

Card of Thanks

My family and I want to express our deepest gratitude to all those who have supported us during our journey of grief following the loss of Our Tyrone!

Your kindness, love, and support have been a source of strength for us during this difficult time.

Whether it was a comforting word, a thoughtful gesture or simply being there to listen, your presence has made a difference in our lives.

We are immensely grateful for the outpouring of love and support from our family, friends and community members. Your compassion has helped us navigate through the darkest days and find moments of solace and hope.

While our hearts still ache with sorrow, knowing that we are surrounded by such caring and compassionate individuals brings us comfort and reminds us that we are not alone in our grief.

Nya weh from the bottom of our hearts for your wavering support and kindness. Your presence in our lives has been a blessing and we will forever be grateful for your love and support.

I know Tyrone would be Thankful for everyone that helped his family because I knew how much he loved us.

With heartfelt appreciation, Jennifer, Kimberly, Precious, Jenyka, Quintin and Mineesha

In Memoriam

In loving memory of our mother, grandmother, great-grandmother and great-great grandmother, Eleanor Porter, who left us March 17th, 2020.

So many beautiful memories

Always on our minds

Forever in our hearts

A mother’s love never ends. It lives on through those left behind.

Forever remembered by Kathy and Rod; Wally and Mel; Becky and Mike; Katie; Kayla and PStone; Preston, Pierce, Paxton, River, Finley, Milo, Poppy, Leanna and Dawson.

Open Jam At Chiefswood Fellowship

506 4th Line - 5 km west of Ohsweken

Six Nations Saturday March 16, 1 pm

Bring a friend and your instrument and enjoy the best in local talent.

Pot Luck Lunch Info......Phil....905-768-5442

Coming Events Sale

Moving Sale

Household Articles, China Cabinet 37 Sunrise Ctr. Unit 51

For information phone 519-445-4808

Plus Free Giveaways

TWO ROW TIMES MARCH 13TH, 2024 22 ATTN: send notices to ads@tworowtimes.com 21 MARCH 13TH, 2024 TWO ROW TIMES ATTN: send notices to ads@tworowtimes.com Container Sales YEAR-ROUND SERVICES L a n e w a y E x t e n s i o n s W a l k w a y & L a n e w a y I n s t a l l a t i o n s T r e e R e m o v a l T r e e T r i m m i n g S t u m p R e m o v a l Mudcat Milling We offer quality work at an affordable price! D r a i n a g e S o l u t i o n s L a n d C l e a r i n g / M u l c h i n g L a n e w a y R e p a i r s Call Us for a FREE Estimate: 519-209-5658 Fully Insured! Forestry Services

CLUES ACROSS

1. Gene type

5. Persian male given name

10. Type of protection

12. Cloud

14. One who returns to life

16. Gym class

18. General’s assistant (abbr.)

19. Baby’s dining accessory

20. Enchantress

22. Prefix denoting “in a”

23. Spiritual leader

25. Cavities

26. Relative biological effectiveness (abbr.)

27. Foot (Latin)

28. Sweet potato

30. Pharaoh of Lower Egypt

31. Land

33. More inquisitive

35. Dog breed: __ Apso

37. Stood up

38. Direct and uninhibited

40. Authorless

41. Blocking type of drug (abbr.)

42. Retrospective analysis (abbr.)

44. Root mean square (abbr.)

45. Macaws

48. Actress Remini

50. Polynesian wrapped skirt

52. City of Angels hoops team (abbr.)

53. Fitzgerald and Baker are two

55. Bowling alley must-have

56. A way to cool down

57. Ethnic group in Asia

58. A way to alter

63. Set of five

65. Removes from the record

66. Dummies

67. Set period in office

CLUES DOWN

1. DC Comics superhero

2. Brew

3. Play

4. Single-celled animals

5. Rough to the touch

6. Small island (British)

7. Often noted alongside cons

8. Preparation of rootstock

9. Atomic #44

10. Egyptian unit of capacity

11. About secretary

13. Particular groups

15. Poke fun at

17. Make certain that something occurs

18. Financial term

21. Justify

23. Arbiter

24. 007’s creato

27. Czech name for Prague

29. Groans

32. American time

34. No seats available

35. __ Stahl, journalist

36. Cleft lip

39. Talk incessantly

40. Expresses atomic and molecular weights (abbr.)

43. A part of a river where the current is very fast

44. Curdled milk

46. Running competitions

47. A team’s best pitcher

49. Carthaginian explorer

51. World-renowned city

54. Most common Japanese surname

59. The bill in a restaurant

60. They __

61. City of Angels football team (abbr.)

62. Distinctive practice

64. One quintillion bytes

ARIES – Mar 21/Apr 20

Creativity may prove elusive this week, Aries. You want to get into a crafty project but you simply can’t find traction just yet. Don’t give up too soon.

TAURUS – Apr 21/May 21

Taurus, a distracted friend or loved one may not be good company over the next few days. Reach out and offer to be a sounding board to help this person re-center their focus.

GEMINI – May 22/Jun 21

Are you feeling preoccupied, Gemini? You can’t seem to focus on one thing or another and friends will start to notice when you are in their company.

CANCER – Jun 22/Jul 22

Romantic matters are going very well right now, Cancer, even if you may not feel entirely confident. The person who cares for you will not notice your insecurities.

LEO – Jul 23/Aug 23

The more challenging path may prove the best one to take as your work on a certain task, Leo. Dig in and start figuring a way out to the other side.

VIRGO – Aug 24/Sept 22

Virgo, there is so much to do around the house that you may not know where to start. Spring cleaning comes a month or two early. Ask for help if you’re feeling frazzled.

LIBRA – Sept 23/Oct 23

You may be in the mood to expand your knowledge on one or more subjects, Libra. Visit the library or a bookstore and pick up something that piques your interest.

SCORPIO – Oct 24/Nov 22

Scorpio, you may pick up on some vibes when hanging out with others that just don’t fit in with your line of thinking. Give it some time before you cut any ties. You may be misinterpreting.

SAGITTARIUS – Nov 23/Dec 21

There has been a lot going on in your life, Sagittarius. You may be experiencing some apprehension about the future. Take every concern individually and give it thought.

CAPRICORN – Dec 22/Jan 20

Information coming to you could have you feeling nervous about your financial security, Capricorn. If this is outside your area of expertise, you may want to sit down with a planner.

AQUARIUS – Jan 21/Feb 18

Confusing messages from work may find you reconsidering plans that you already put into motion, Aquarius. Get more information before modifying your plans.

PISCES – Feb 19/Mar 20

Pisces, your mind is all over the place right now, so it could be difficult to focus on mundane things like chores or other activities right now. However, don’t push them off.

TWO ROW TIMES MARCH 13TH, 2024 23 MARCH 13TH, 2024 19 TWO ROW TIMES SUDOKU Answers for March 13th, 2024 Crossword Puzzle

WAFMA 10th Annual Spring Farmers Consignment Auction

Auction Bidding Opens on Friday March 15th and Begins Closing Thursday March 21st @ 6pm.

Viewing Thursday March 14th to Wednesday March 20th 9am to 4pm

LOCATION: 3070 Highway 6 Jarvis, ON.

For Walker Farms, T M Farms, Walter Dedman plus other local farmers. WAFMA is raising funds for property maintenance plus updates to our Sea Can Kitchen.

TRACTORS: Case IH STX 275 Steiger, Bareback, 4 Remotes; Ford 4630 w/ Loader 4x4 shuttle shift; Oliver 1600 w/ NFE Gas Tractor; Farmall 504 Gas w/ Cultivators; Farmall 230 Tractor w/ Cultivators and Fast Hitch; Farmall 240 w/ Cultivators & Fast Hitch; Farmall A Tractor; IH 786 Open Station Tractor, 1 Owner, Duals sold separately; White 700 2 Wheel Drive w/ QT Loader; White 700 4x4 w/ QT Loader; White 2-65 Tractor 4x4 w/ QT Loader; Nuffield 465 Tractor; Zetor 120-11 Tractor w/ Cab; WD 45 Tractor, Wide Front End; AC Quick Hitch Blade; AC Quick Hitch 4’ Disc; AC Quick Hitch Sickle Bar Mower; Ford 8N Tractor; AC D14 Tractor; Cockshutt 411R Tractor;

EQUIPMENT: Air Glide 750 Self Propelled 90’ Boom, 800 Gal Tank, 4x4 Cummins Engine; JD 4400 Diesel Combine; JD 213 Flex head; JD 444 4 Row Corn Head; Glencoe 9 Shank Soil Saver; JD 210 Disc, 14’; Taylor Tandem Fertilizer Spreader; Market 20’ Fill Auger; Rhino FM 100 3pth 8’ Rough Cut Mower; Mott 6’ Mower; HD 8’ 3ph Blade w/Hydraulic Angle; Husky & Badger Manure Pumps; Case IH 600 Forage Blower; IH 30 Forage Blower; NH 326 Baler w/Thrower; NH BR7070 Round Baler w/ Net & Cutter; NH 648 Round Baler w/ Net & Twine, Silage Special; NH 658 Round Baler w/Net. Woods

RD990X Finishing Mower, 8’; Woods RM350 Finishing Mower, 5’; NH 518

Double Beater Manure Spreader; MF 828 Round Baler, 4x5’ NH 258 Rake; Allied 20’ Elevator on Wheels w/ Motor; 2 Thrower Wagons; 24’ Feeder Wagon; Kewanee 8’ Wheel Disc; Cockshutt 32 Plate Wheel Disc; White 251 Wheel Disc w/ Wings, 16’; Konskilde 10’ S Tyne 3pth Cultivator; White C Tyne Wing Cultivator; 12’ Pony Harrows; 3 Sections of Benn Iron Foundry Crow Foot Packer 18’ Total; Powel 2R Transplanter w/ Updated Holland Planter Units; 3 Prong Bale Spear; 3pth Subsoiler; Ferg. 2F Plow; JD Sickle Mower; Harris 7’ HD 3ph Blade; Farm King 5’ & 8’ Blades; Small Gravity Wagon; Blue Gravity Wagon; JD Drill; Ferguson 3ph Sickle Mower; JD 7000 4R Planter for Parts; Howse 4’ Rotary Cutter; 10 Bolt Rims & Tires from NI Unisystem; Farm King 810 Swing Auger, Farm King 7’ Rock Rake; JD 235 20’ Disc; 24’ Spring Tooth Harrows w/Cultivator; 4Ton Fertilizer Spreader; Homemade 4 Ton Seed Tender w/ Conveyer Belt; Wic 3ph Bale Shredder; Blizzard 7’ 3ph snowblower.

NEW EQUIPMENT: 32000 lb Adjustable Loading Ramp; 2023 L12 Mini Excavator; 6’ Grapple w/Skidsteer Mount; 7’ Grapple w/ Skidsteer Mount; LMC 6’ HD Box Blade; 7’ HD Box Blade; 8’ HD Box Blade; Excavator Thumb; Skidsteer Mount Sickle Mower; 10’ HD Box Blade w/ Transport Wheels; 12’ HD Box Blade w/ Transport Wheels; Tomahawk Weld on Skidsteer Plates; HD Tomahawk Weld on Skidsteer Plates

INDUSTRIAL: New Holland C175 Track Loader w/Hydraulic Quick Attach & Bucket; Kubota R420S Wheel Loader w/ Kubota Hydraulic QT SS Mount; Swinger 180 Wheel Loader; Yale Pallet Lift w/Charger; Service Trailer w/Light Tower, Heater, 120/240/600 Volt Generator, Direction Lights, Hydraulic Winch, 2” Trash Pump. Nissan Gas Engine, 300 hrs, New Battery.

LAWN & GARDEN: JD 125 Lawnmower, 1 Owner; JD F915 Front Mount 60”

Mower; Cub Cadet Zero Turn w/ Steering Wheel; Simplicity Zero Turn Mower; 3’ ATV Wheel Disc; IH Cub Cadet 1250 Lawn Tractor, Not Running; Red Rock Stump Grinder; Roper Lawnmower Not Running; JD 316 Lawnmower for Parts; Case 150 Garden Tractor for Parts; Case Snow Blower to Fit 222; Kubota Sno Pro 72” Snow Plow; 5 Unused Lawnmower Batteries; Miniature Wagon w/ Racks; JD AMT 622 5 Wheel Gator, Hyd Lift; 2 Handmade Wooden Windmills

TRAILERS: 2023 Canada Trailer 14’; 2 Horse Trailer w/ Loading Ramp; Single Axle Box Trailer; Enclosed Trailer w/ Honda Generator

ANTIQUE TRACTORS & EQUIPMENT: Ruston Hornsby Engine on Trailer, Older Restoration; Case W5 Wheel Loader; Case S Tractor; Climax Size A Grinder/Blower Mounted on Steel Wheels; New Idea 75 Years of Agriculture Sales Catalogue; Ford & Lincoln Mercury Automotive Story Album

SAWMILL: Antique sawmill mounted on a 5th wheel trailer. This unit was displayed & demonstrated at all the local fairs by the Rutherford family. This unit has been stored inside for a few years. It is being sold at it’s current site. Viewing by appointment.

COLLECTABLES: Cockshutt 70 Petal Tractor Signed by Joseph Ertle & Bill Cockshutt; Cockshutt Aluminum Ashtray; Unused Cockshutt Serial Plate; Miniature Handmade Hoosier Cupboard; Antique Store Scale

MISCELLANEOUS: Lincoln Portable Gas Welder w/ 50’ Welding Cable. Aurora 6800SDE HD diesel generator. 25 Barn Beams of Various Lengths; NEW 205R x16 Tires on Galvanized Rims; NEW 205R x 16 Tires on White Spoked Rims; 8-14.5 Tires on Rims; Oat Grinder; Cider Press; Feteral Grain Cleaner; Ford 727 Loader Attach w/ Hydraulic Bucket & Loader Valve, Mounts for Ford 5000 Tractor, May Fit Others; 18.4 x 38 Duals; Fuel Tank Meter; Kid’s Bicycles; Grass Seeder; Portable Air Compressors; Gate Hinges; Feed Bowls; Milk Bottles; Head Gates; Ear Tag Pliers; Banding Tools; Various Sized Gates; Wooden Door w/ Glass Insert; Water Trough; Decorative Wooden Wheel Barrow; Wooden Cabinet; Drill Press; Powerfist 2HP Electric Compressor; Cattle Feeders; Nuts & Bolts; Toplinks; SMV Signs; Drawbars; Misc. Shop Tools; Aluminum Ladder; Steel Work Bench; Miniature Horse 4 Wheel Cart, Made by E.K.Ellis, Tillsonburg, Ontario; Implement Wheels; 280’ of 5/8” Marine Rope; JD Tool Box; Greenhouse Glass; Crocks; Oil Lamps; Milk Cans; 24” Post Whole Auger Bit; Feed Cart; 2- 440/65R24 Tires w/ 8 Stud Rims; SD 9000 Series Combine

Dual Wheel Kit; 18.4x34 Dual Wheels w/Hardware; 16.9x28” Dual w/Hardware; Skid of Roofing Steel, 8’ Lengths; Kernal Processor w/ 10HP Motor. Yamaha 80 ATV.

VEHICLES: 1985 Int. 1700 Single Axle Dump Truck; 2013 Jeep Wrangler

Unlimited Sport Truck w/JK-8 Pkg., 105K km, Standard, 1 owner, Very Rare

LATE EDITIONS: Case 40XT Skidsteer. Case 830 Case-O-Matic diesel. MF 65 diesel. JD 8330 drill. Vicon, Sitrex & Bogbaile 3ph & Befco pull type fertilizer spreaders. Variety of Kubota tires, duals, loader & excavator buckets, Variety of Horst QT loader plates. Lawnmower blade. 2005 Sprinter van, Mercedes diesel. 2005 Chev

TWO ROW TIMES MARCH 13TH, 2024 24
1500
1500
Dodge
Max
speed
4x4. 2007 Chev 2500 Diesel 4x4. 2011 Dodge
Quad cab 4x4. 2011
1500 4x4. 2014 Transtar Day cab, automatic,
Force Engine, 10
I shift. 905000 km. 5th wheel travel trailer, Hunt camp special.
FOR MORE INFO CALL

Turn static files into dynamic content formats.

Create a flipbook
Issuu converts static files into: digital portfolios, online yearbooks, online catalogs, digital photo albums and more. Sign up and create your flipbook.