Tribuna Sonora 9-11-2024

Page 1


PEGA PRIMERO EN CASA YAQUIS CON LA PÓLVORA MOJADA CAE EN EL INICIO DE LA SERIE EN CULIACÁN

YAQUIS TOMATEROS 01 07 vs >DEPORTES PÁG.4B

FISCAL DE DISTRITO OTORGA PAUSA A TRUMP POR JUICIO DE ASALTO AL CAPITOLIO >MUNDO PÁG. 6A

En Hermosillo: Gobierno transforma Centro Histórico

El Centro Histórico de Hermosillo tiene un nuevo rostro; con la modernización de calles y edificios públicos el gobernador Alfonso Durazo Montaño regresó a esta zona emblemática de la capital sonorense el valor turístico, cultural y económico, misma en la que ayer viernes fueron inauguradas la remodelación de la avenida Álvaro Obregón y la calle Garmendia con la finalidad de mejorar la calidad de vida de las y los hermosillenses.

El mandatario estatal destacó el impacto positivo de esta modernización en el desarrollo económico y turístico de Hermosillo, subrayando su compromiso de seguir transformando Sonora con proyectos estratégicos en beneficio de las y los ciudadanos. La entrega de estas vialidades representa un paso significativo hacia la consolidación de un centro histórico moderno, accesible y atractivo tanto para residentes como visitantes.

“El Centro Histórico es el corazón de la capital, y representa una de las áreas muy probablemente más emblemáticas de todo el estado. Tenemos que rescatar el centro y convertirlo en un punto de atracción turística”, manifestó.

Este proyecto forma parte de un ambicioso paquete de modernización que abarca 14 calles en el corazón

cívico y cultural de la capital sonorense. La transformación de la Avenida Obregón (tramo entre Gral. Yáñez y Mariano Abasolo) y la Calle Garmendia (entre Sufragio Efectivo y Serdán) requirió una inversión conjunta de más de 28 millones de pesos, financiados por el crédito de infraestructura de dos mil 100 millones de pesos.

Esta obra marca el inicio de una nueva era para el Centro Histórico de Hermosillo, donde se prioriza la accesibilidad vial y peatonal, el atractivo turístico y la integración de la comunidad.

Luis Enrique Porchas Durazo, destacó que este tipo de obras debieron haberse hecho desde hace varios años para impulsar el turismo y el comercio local, sin embargo, dijo, esta obra es el inicio para que Hermosillo cuente con un Centro Histórico que esté al nivel de otras ciudades del país.

“Esta inversión hacía falta desde hace mucho, para poder tratar de estar al nivel de otros centros históricos en México y las capitales de nuestros estados. Este es un primer paso para que la gente se sienta a gusto aquí y que venga con la familia, que pueda andar con los hijos, en las noches con las parejas, con los amigos, y que anden seguros y tranquilos”, manifestó.

Tema frontera queda pendiente en llamada Sheinbaum y Trump

La presidenta Claudia Sheinbaum informó que en su conversación con Donald Trump, la felicitó por su triunfo y que ella le devolvió la felicitación, pues “evidentemente para eso era la llamada”. Dijo que se habló de la buena relación entre México y Estados Unidos, y que llegó un momento en que él planteó el tema de la frontera “así nada más”, a lo que ella respondió que “sí, está el tema de la frontera, pero va a haber espacio para poder platicarlo”, según expresó. Sheinbaum agregó que Trump aprovechó para mandarle saludos al expresidente Andrés Manuel López Obrador, “con quien dijo había tenido muy buena relación” y que la conversación terminó con un “nos vemos pronto” de ambas partes.

La mandataria calificó la conversación como “cordial y “en buenos términos”, en alusión a

CLAUDIA SHEINBAUM PRESIDENTA Esencialmente fue una llamada muy, muy cordial la verdad, estamos contentos por ello, y ahora todo lo que viene hacia delante, pero fue en muy buenos términos”. “

las invitaciones; ya habrá momento para definir eso”.

MÉXICO VS VENEZUELA: HOY INICIA EN GUADALAJARA EL PREMIER 12 DE BEISBOL MUNDIAL >DEPORTES PÁG. 4B

HISTORIA DE VIDA: ARLETH Y JESÚS, EL EJEMPLO DE QUE CRUZ ROJA NO DISTINGUE EDAD NI GÉNERO >OBREGÓN PÁG. 1B

Enfermedades del corazón, principal causa de muerte entre los sonorenses

STAFF

redaccion@tribuna.com.mx

La insuficiencia cardiaca, los infartos, la hipertensión arterial y otras enfermedades del corazón siguen posicionándose como la primera causa de muerte entre los habitantes de Sonora, pues en 2023 un total de cuatro mil 853 sonorenses murieron por ello.

Los datos han sido presentados ayer por el Instituto Nacional de Estadística y Geografía (Inegi) como parte de las Estadísticas de Defunciones Registradas (EDR). El instituto reveló que Sonora ocupa el cuarto lugar a nivel nacional con más defunciones por males relacionados con el corazón, según la tasa estandarizada. La entidad tiene una tasa de 171.6 por cada 100 mil habitantes.

Si hablamos de las defunciones por género, las enfermedades al corazón también resultan ser las primeras en hombres y mujeres. En 2023 fallecieron mil 955 mujeres sonorenses por estos males, mientras que murieron dos mil 898 hombres. De acuerdo con el Inegi la cardiopatía isquémica destacó sobre los otros padecimientos del corazón.

Datos preliminares del Inegi señalan que de enero a marzo de este 2024, las enfermedades al corazón también ocupaban el primer lugar en ambos sexos, dando un total de mil 264 defunciones. Por lo que no sorprendería que también resulten la principal causa de muerte al finalizar el año en turno.

En cifras 9 Lugar que ocupa Sonora en defunciones por homicidio doloso, de acuerdo con los datos del Inegi.

A nivel país, en 2023, las enfermedades al corazón también fueron la primera causa de muerte registrando un total de 189 mil 210 víctimas; 88 mil 726 mujeres y 100 mil 469 hombres. Representa una leve disminución si se comparan los casos totales con 2022, pues en ese año fueron 200 mil 023.

LO QUE MATA A LOS SONORENSES

Además de las enfermedades del corazón, las otras cuatro causas de muerte principales son: Tumores malignos con mil 481 casos; diabetes mellitus con mil 565 casos; agresiones (homicidios) con mil 339 y influenza y neumonía con mil 117 defunciones.

Por sexo, al hablar de las mujeres las cinco principales causas de muerte son: Enfermedades del corazón, con la cifra que ya se co-

Más de 200 se registran para la elección judicial

Dos días después que el Comité de Evaluación del Poder Legislativo lanzó la convocatoria para la elección de jueces, magistrados y ministros en el Poder Judicial, 224 personas se habían registrado en el portal habilitado para este proceso.

El presidente de la Mesa Directiva en San Lázaro, Gerardo Fernández Noroña, confirmó que

hasta el miércoles tenían esa cifra de aspirantes, a participar en la elección el primer domingo de junio de 2025.

El lunes 4 de noviembre fue lanzada la convocatoria, que busca seleccionar candidaturas para diversos cargos judiciales, incluyendo cinco ministras y cuatro ministros de la Suprema Corte de Justicia de la Nación (SCJN).

Desaparición autónomos: INAI busca dar batalla

Adrián Alcalá Méndez, comisionado presidente del Instituto Nacional de Transparencia y Acceso a la Información (INAI), dijo a Milenio Televisión que los colaboradores del instituto no se vencerán hasta el último momento y por ello, seguirán insistiendo en que es necesario contar con un organismo autónomo independiente.

“Estamos pugnando por la permanencia del

modelo de garantía de un órgano constitucionalmente autónomo, que defienda los derechos de todas las personas en igualdad de condiciones para fortalecer este sistema democrático”, señaló Alcalá Méndez.

El comisionado tiene la esperanza de que se presenten reservas sobre el diseño del INAI. “No descarto la posibilidad de que exista la creación de

En cifras 662

Defunciones registradas por enfermedades del corazón tiene Sonora en tasa bruta por cada 100 mil habitantes.

mentó; tumores malignos con mil 248 víctimas; diabetes mellitus con 775 casos; influenza y neumonía con 495 muertes y enfermedades cerebrovasculares con 384 fallecimientos.

Mientras que los hombres fallecieron de enfermedades del corazón; tumores malignos con mil 233 víctimas; agresiones (homicidios) con mil 182 muertes; accidentes con 822 casos y diabetes mellitus con 790 fallecimientos.

Cabe señalar que Sonora tiene el tercer lugar a nivel nacional en defunciones por tumores malignos con una tasa estandarizada de 83.2 por cada 100 mil habitantes. Mientras que en defunciones por accidente, la entidad es el cuarto lugar nacional con una tasa estandarizada de 41. 7 por cada 100 mil habitantes.

En cifras 799

Mil 869 defunciones se registraron en México en 2023, de estas 32 mil 252 fueron por homicidios.

PREVENCIÓN

El cardiólogo cajemense, Rafael Valencia, comentó a esta casa editorial que son generalmente las personas mayores a 45 años quienes empiezan a presentar problemas relacionados al corazón. “Esto no quiere decir que no haya personas de un grupo etario más abajo que comiencen a sufrir estos padecimientos, lo que podemos ver es que están asociados a otros males como obesidad, diabetes o se desarrollan en personas que son fumadoras”, explicó.

Valencia recomendó realizarse un chequeo anual y además practicar ejercicio físico, alimentación equilibrada, controlar los niveles de colesterol, también el peso corporal y enfermedades como la hipertensión.

Quienes estén interesados en participar, deben registrarse a través del portal digital o en la oficialía de partes de cualquiera de las Cámaras del Congreso y el plazo vence el 24 de este mes. En los requisitos estipulados en la convocatoria,

se exige ser ciudadano mexicano por nacimiento, poseer un título profesional en derecho y tener un promedio académico mínimo de ocho puntos o su equivalente en estudios relacionados con el cargo al que se postula.

otra agencia que mantenga estas características de autonomía e independencia, la decisión la tomarán los legisladores”.

Hay que recordar que el presidente de la Junta

Estos males cobraron la vida de 4,853 habitantes en Sonora durante el 2023.
de Coordinación Política (Jucopo) en la Cámara de Diputados, Ricardo Monreal, anunció que entre el 11 y 14 de noviembre se llevará a cabo la discusión de la desaparición de los organismos autónomos.

Tramos carreteros en mal estado serán beneficiados por el programa

Durazo señala que ‘Bachetón’ incluiría carreteras de Sonora

El gobernador Alfonso Durazo Montaño dio a conocer que algunas carreteras de Sonora se podrían ver beneficiadas con el programa de rehabilitación ‘Bachetón’, impulsado por la presidenta Claudia Sheinbaum.

Los tramos carreteros que serían incluidos en este programa federal son Ímuris-Cananea, Ímuris-Agua Prieta y de Agua Prieta a línea divisoria con Chihuahua.

El gobernador agregó que la carretera Sonoyta–Puerto Peñasco será concesionada para que un particular se encargue de su rehabilitación completa, como ya había dado a conocer.

A BAHÍA DE KINO

En el caso de la carretera Hermosillo–Bahía de Kino, precisó que ya se tiene un proyecto ejecuti-

Más info

El programa ‘Bachetón’ es un programa emergente del gobierno de la presidenta Sheinbaum, el cual tiene como objetivo el de conservar las carreteras federales con acciones como tapar baches y renivelación.

vo y se analiza el impacto financiero, además de que sería de cuatro carriles hasta el poblado Miguel Alemán.

“De la carretera a Puerto Libertad ya arreglamos 100 kilómetros; es la carretera 36 norte, tenemos contemplados dos tramos más; nos faltan 378 millones de pesos, ya andamos en esa gestión”, agregó.

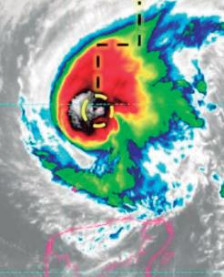
Huracán ‘Rafael’ casi llega al Golfo y se mantiene como categoría 2

El Servicio Meteorológico Nacional (SMN) informó que el huracán ‘Rafael’ continúa como categoría 2, y se localizaba ayer a 340 kilómetros del Río Lagartos y a 365 kilómetros de Progreso en el estado de Yucatán. El sistema ciclónico provocará fuertes lluvias en Campeche, Quintana Roo y Yucatán, además se prevén rachas de viento de entre 40 y 60 kilómetros por hora, y oleaje elevado de 1.5 a 2.5 metros.

Desmantelan laboratorio de droga en Ensenada

Elementos del Ejército Mexicano localizaron y desmantelaron un laboratorio clandestino para la elaboración de droga sintética en Ensenada, Baja California.

La Secretaría de la Defensa Nacional (Sedena) dijo en un comunicado que el 4 de noviembre el Ejército mexicano aseguró aproximadamente 7.32 litros y 2.4 kilogramos de unas ‘sustancias químicas desconocidas’. Esto, abundó, como resultado de tareas de reconocimientos terrestres en las que “localizaron un

laboratorio clandestino, por lo que establecieron perímetros de seguridad y el resto de la fuerza (militar) procedió a revisar el área”. En el operativo también incautaron siete reactores, siete condensadores, dos centrifugadoras, 15 tanques de gas LP y diversos utensilios. La Sedena indicó que lo asegurado fue puesto a disposición de la Fiscalía General de la República (FGR) “para continuar con las investigaciones y acciones periciales que confirmen el tipo y cantidad de las sustancias químicas en cuestión”.

Tribuna Sonora

El tema de la entrega de medicamentos a los derechohabientes del sector salud ha dejado mucho que dejar en el gobierno morenista

CSP hereda deuda de 2.9 mmdp en medicamentos

STAFF

redaccion@tribuna.com.mx

Un adeudo de dos mil 900 millones de pesos (mmdp) recibió el gobierno de Claudia Sheinbaum Pardo (CSP) de su antecesor Andrés Manuel López Obrador, cantidad que quedó a deber a la industria farmacéutica por medicamentos que adquirió a través del Instituto de Salud para el Bienestar.

Ese organismo desaparecióen2023,peronoalcanzó a liquidar todos los contratos con los laboratorios, que ahora negocian el pago con el gobierno de la presidenta Claudia Sheinbaum.

Rafael Gual, director general de la Cámara Nacional de la Industria Farmacéutica (Canifarma), explicó que los adeudos corresponden a las compras hechas de 2021, 2022 y 2023.

“Principalmente son adeudos del Insabi. Ahora los tiene que cubrir el IMSS-Bienestar o Birmex, u otras instancias. En eso también estamos trabajando con el gobierno, para, precisamente, solventar todos estos pendientes”,

Más info

El expresidente Andrés Manuel López Obrador prometió que el servicio de salud en México sería mejor que en Dinamarca, promesa que no solo no cumplió, sino que empeoró el servicio, como es en el caso de la escasez de los medicamentos.

dijo en entrevista con Expansión Política. Además de este adeudo, el sector farmacéutico colabora con el gobierno para mejorar la gestión de los pagos en las próximas adquisiciones.

PAGOS GARANTIZADOS

Ante la nueva compra consolidada 2025-2026, anunciada a finales de octubre, las autoridades han prometido a la industria que los pagos estarán totalmente garantizados.

“Todavía tenemos adeudos pendientes que, si se cubren, también ayudarán, porque muchas veces esto

En cifras 130

Mil millones de pesos va a invertir el gobierno de Claudia Sheinbaum en la compra de medicamentos e insumos.

complica la operación futura de las empresas”, dijo.

No es la primera vez que una administración federal se retrasa en el pago a los laboratorios y proveedores de medicamentos. Durante el sexenio del priista Enrique Peña Nieto también se registraron adeudos acumulados. Sin embargo, estas prácticas persistieron en el gobierno de Obrador.

Pero el gabinete de la presidenta Sheinbaum ha anunciado mejoras en los procesos de adquisiciones, con el fin de que se realicen con transparencia, planeación y se consigan medicamentos de calidad a buen precio y con tiempo.

TERMINA PLAZO

Ayer viernes culminó el plazo de 10 días que las autoridades sanitarias del país establecieron para recibir comentarios y sugerencias sobre la nueva compra consolidada.

FGR ‘batea’ a panistas con su denuncia contra Rubén Rocha

A dos meses de que presentaron una denuncia en contra del gobernador de Sinaloa, Rubén Rocha, y la exfiscal local, Sara Bruna Quiñonez, diputados del PAN no han podido acceder a la carpeta de investigación, pese a que en dos ocasiones han acudido físicamente a las instalaciones de la Fiscalía General de la República (FGR) a solicitarlo.

Ayer, los diputados Federico Döring y Héctor Saúl Téllez pidieron en las oficinas de la fiscalía, ubicadas en Santa Fe, acceder a la

En cifras 8

Toneladas de fentanilo fueron decomisadas durante el pasado gobierno que encabezó el tabasqueño López Obrador.

En cifras 7

Reactores con sus respectivos condensadores fueron destruidos en el laboratorio encontrado en Ensenada.

Se espera que en los próximos días se publique la convocatoria para participar en la licitación, que busca adquirir cuatro mil 454 tipos de medicamentos y otros insumos para la salud, con una inversión de 130 mil millones de pesos.

“La expectativa es poder participar en igualdad de condiciones, todos con transparencia, con certeza jurídica en los pagos también, que esa es otra parte muy importante. Nos han mencionado que se va a garantizar el pago y, por lo tanto, esto motivaría una mejor participación de la industria. A final de cuentas, todos son temas relacionados, creo que es tan importante la entrega como el pago”, agregó el director de Canifarma.

Sostuvo que la industria tiene la capacidad de cubrir la demanda sin recurrir a empresas extranjeras, con productos que cuentan con registro sanitario, un aval expedido por la Comisión Federal de Protección contra Riesgos Sanitarios a los insumos que comprueben su seguridad y eficacia para ser comercializados.

En cifras 25 De julio ocurrieron algunos hechos, como el secuestro de ‘El Mayo’ Zambada, en el que salió el nombre de Rocha.

El gobernador de Sinaloa es señalado de tener vínculos con el crimen

carpeta de investigación para revisar si ha habido algún avance en ella -la solicitud fue acompañada por el también panista

Ernesto Sánchez Rodríguez-, pero personal de la dependencia les informó que tenían que hacerlo en la sede ubicada en la

colonia Doctores. Téllez acusó prácticas dilatorias por parte de la dependencia dirigida por Alejandro Gertz Manero, ya que hace unos días, solicitaron acceder al expediente en esa sede, pero de ahí los canalizaron a la de Santa Fe. “Hoy estamos ratificando que después de tres meses de que se presentó nuestra denuncia de carácter penal en contra del gobernador y la exfiscal, hoy en día no tenemos notificación alguna, no sabemos en qué estado está nuestra carpeta de investigación”.

Migrantes temen quedar en México tras el

triunfo de Trump en los EU

Los migrantes que aguardan en el Estado de México y la Ciudad de México una respuesta de CBP One, la aplicación para conseguir una cita de asilo en Estados Unidos (EU), aseguran tener temor por el regreso de Donald Trump a la presidencia de ese país. A este temor, se suma el de regresar a sus países de origen. Si no pueden pasar, aseguran, cubanos y venezolanos, que aquí se quedan. Por eso, el director de la organización Pueblo Sin Fronteras, Irineo Mujica, cree que México será el más afectado con esto.

Los indocumentados viven en condiciones precarias en este país

“Si ya hay miles y miles de personas en México y ahora Donald Trump va a deportar a miles y miles más, realmente se va a con-

vertir México en una cárcel, un infierno. La presidenta de México no tiene un plan para la migración y no le interesa tampoco”.

LA FOTO NOTICIA

Evelyn de ‘fiesta’, mientras que Guerrero arde en ola de violencia

STAFF

redaccion@tribuna.com.mx to desde sus redes sociales, pero se cortan justamente en el momento previo en que ella tomó el micrófono para cantar junto a Jorge ‘Coque’ Muñiz.

Mientras Guerrero se encuentra sumido en una violencia nunca antes vista, con ejecuciones y masacres a la orden del día, la gobernadora Evelyn Salgado se echa un ‘palomazo’ con Jorge ‘Coque’ Muñiz, cantando ‘Si nos dejan’, en lo que pareciera anda de ‘fiesta’.

Fueenlainauguraciónde

‘ElPartenóndeZihuatanejo’, la noche del miércoles, donde la mandataria estatal cantójuntoconelreconocidoartista,mientrasquelaFiscalía GeneraldelEstado(FGE)hallaba a 11 personas integrantesdeunafamiliasinvidaen una camioneta abandonada en Chilpancingo, cuerpos que ya se confirmó pertenecen a los comerciantes desaparecidosenChilapa.

La gobernadora compartió la transmisión del even-

Tras hacerse pública la presentación de Salgado, la diputada y secretaria ge neral del PAN, Noemí Luna, calificó de frivolidad las ac ciones de la gobernadora.

Esa misma noche, a unos 300 kilómetros, un reporte ciudadano alertó a la FGE de una camioneta abandonada en el bulevar Vicente Guerrero, en el municipio de Chilpancingo; al arribar las autoridades, encontraron 11 cuerpos sin vida, entre ellos los de cuatro menores de edad, dos mujeres y cinco hombres.

La gobernadora guerrerense se echó un ‘palomazo’ con el cantante Jorge ‘Coque’ Muñiz

‘El Partenón de Zihuatanejo’, perteneció al exjefe de la policía de la Ciudad de México, Arturo ‘El Negro’ Durazo Moreno, y buscan convertirlo en un espacio de esparcimiento cultural y transformar un recinto que fue un símbolo de la corrupción.

En cifras 15

Cuerpos fueron encontrados el pasado miércoles en Guerrero en dos hechos diferentes; cuatro eran menores.

bacheo en calles y avenidas de Chilpancingo, donde estaba presente su hija.

La gobernadora no emitió ninguna declaración respecto al hallazgo de las personas asesinadas en el

“En qué va a gastar tanto”: CSP al INE

Tras cuestionarle en qué va a gastar tanto, la presidenta Claudia Sheinbaum Pardo (CSP) hizo un llamado al Instituto Nacional Electoral (INE) a la racionalidad ante el presupuesto que está solicitando para la elección del 2025. “¿Saben que el INE está pidiendo más recursos que los del año pasado para el presupuesto 2025? El año pasado hubo gasto de partidos políticos, gasto de campañas, todo ese financiamiento. ¿Cómo que más recursos en el 2025 que lo que gastaron en el

2024? No hay campañas, no hay financiamiento a partidos políticos, eso está establecido en la Constitución”, dijo Sheinbaum. La mandataria insistió en sus críticas hacia al INE y pidió que desglosen y expliquen en qué se van a gastar tanto dinero. “Es un llamado al INE a la racionalidad, los privilegios no van con el momento que está viviendo nuestro país”, manifestó durante la conferencia matutina de ayer viernes. Asimismo, la mandataria mexicana extendió el

vehículo, pero sí dedicó al menos cinco publicaciones en relación con la inauguración del inmueble que perteneció a Arturo ‘El Negro’ Durazo Moreno.

La primera publicación de la mandataria relacionada con las 11 personas encontradas sin vida fue

ayer viernes, para informar que instruyó a la Secretaría General del Gobierno del Estado brindar un acompañamiento cercano y permanente a los familiares.

USTEDES CANTARÍAN?, PREGUNTA SU PADRE

llamado a la Cámara de Diputados para que se analice el presupuesto precautorio que aprobó el organismo electoral.

El Partido del Sol Azteca perdió su registro en la pasada elección

“Vamos a esperar a ver qué dice el INE, pero ahí sí un llamado al Poder Legislativo, a la Cámara de Diputados, porque no puede ser”.

PRD debe transferir sus recursos a la Tesorería de la Federación tras extinción

El Diario Oficial de la Federación publicó ayer el aviso de liquidación del PRD, que contempla las bases de este proceso, luego de que perdió su registro en la pasada elección. El partido del Sol Azteca no alcanzó el umbral de 3 por

El senador Félix Salgado Macedonio hizo una encuesta a mano alzada en un evento público para saber si su hija, la gobernadora de Guerrero, Evelyn Salgado, cantaba bonito.

ciento de los votos necesarios para mantener su registro como partido político, por lo que el INE designó como interventor a Ricardo Badin Sucar para este fin. El interventor deberá cubrir los adeudos del PRD con base

“Si ustedes fueran los gobernadores y el artista les invita a cantar, ¿ustedes qué harían?”, dijo en el evento de arranque de

“Levanten la mano los que cantarían. Cómo se hubiera visto la gobernadora que dijera no, se vería muy mal. Yo les pregunto, ¿la gobernadora canta bonito? En dónde está mal”, y fustigó a quienes, dijo, le han armado una campaña adversa.

Proponen poner letras de oro de Ifigenia Martínez

El Partido Verde Ecologista de México (PVEM) propuso inscribir el nombre de Ifigenia Martínez con letras de oro en el Muro de Honor de la Cámara de Diputados. La diputada Ciria Yamile Salomón Durán propuso poner el nombre de la recién fallecida diputada de Morena como un reconocimiento a la trayectoria y legado en la vida política y social del país.

“El nombre de la maestra Ifigenia Martínez como luchadora social merece ser reconocido en el Muro de Honor de la Cámara de Diputados. Ella debe estar al lado de las mujeres que han ayudado a consolidar el Estado mexicano y la democracia”, detalló. La diputada resaltó la frase que expresó Ifigenia Martínez, “es tiempo de mujeres”, cuando Claudia Sheinbaum asumió la presidencia de México.

en su saldo en cuentas bancarias y bienes inmuebles, en el siguiente orden de prioridad: Adeudos a trabajadores del PRD; adeudos fiscales; sanciones administrativas de carácter económico impuestas por el INE. En caso de existir remanentes de saldos en cuentas bancarias y recursos en efectivo, el liquidador emitirá cheques a favor del INE o de los Organismos Públicos

Locales Electorales, según corresponda. Los recursos deberán ser transferidos a la Tesorería de la Federación o a la tesorería de la entidad federativa correspondiente. Si se trata de muebles e inmuebles, el interventor llevará a cabo los trámites para transferirlos al INE, con la única finalidad de que los bienes pasen al Instituto para Devolver al Pueblo lo Robado (Indep).

En cifras

1995

Se incorporó Cameron MacKay al trabajo diplomático canadiense, escalando varios puestos desde entonces.

El diplomático canadiense va a reemplazar a Graeme C. Clark

Canadá nombra nuevo embajador en México

Cameron MacKay fue nombrado como nuevo embajador de Canadá en México en reemplazo de Graeme C. Clark, informó el Ministerio de Relaciones Exteriores canadiense. “La honorable Mélanie

Joly, ministra de Relaciones Exteriores, anunció ayer la siguiente nominación diplomática: Cameron MacKay es designado como embajador Extraordinario y Plenipotenciario ante los Estados Unidos

Mexicanos”, de acuerdo con un comunicado del gobierno canadiense. Cameron MacKay estudió Economía y Relaciones Industriales en la Universidad McGill y cuenta con un posgrado en la Universidad de York. Se incorporó al Ministerio de Asuntos Exteriores y Comercio Internacional en 1995. Fue director de Política Comercial Regional, director general de Política Comercial de China, director general de la Oficina de Negociaciones Comerciales,entre otros importantes cargos.

Sheinbaum recibe en Palacio Nacional a senadora ausente durante la aprobación de la Supremacía Constitucional La senadora Cynthia López Castro, quien renunció a la bancada del PRI luego de ausentarse de la votación en el Senado sobre la Supremacía Constitucional aprobada por Morena, se reunió el jueves con la presidenta Claudia Sheinbaum. La senadora dijo que acudió al encuentro con la mandataria en su calidad de presidenta de Mujeres Parlamentarias, y que aún no acepta su incorporación a la bancada de Morena en el Senado de la República.

LA FOTO NOTICIA
El Instituto Nacional Electoral va a organizar la elección judicial
Tribuna Sonora

Jueza pone en pausa el caso penal contra Trump

STAFF redaccion@tribuna.com.mx

La jueza Tanya Chutkan aceptó ayer viernes conceder una pausa al juicio que enfrenta Donald Trump en Washington por el asalto al Capitolio para dar tiempo al fiscal especial, Jack Smith, a evaluar cómo proceder tras la victoria del republicano en las elecciones del martes.

La magistrada autorizó quesesuspendanlosplazos pendientes y que el gobierno presente para el 2 de diciembre sus deliberaciones sobre el camino a seguir en estecasopenal,talycomolo había solicitado Smith.

Su petición señala que necesita que se anulen los plazos restantes para determinar “el camino apropiado” en consonancia con las políticas del Departamento de Justicia, que impiden investigar a los presidentes mientras estén en ejercicio.

LA ACUSACIÓN Trump, que el martes venció a Kamala Harris, y será investido el próximo 20 de enero, está acusado en el Distrito de Columbia por sus intentos para revertir los resultados de las elecciones que perdió en 2020 y haber presuntamente instigado el asalto al Capitolio.

La solicitud recuerda que, como resultado de esos comicios, está previsto que se certifique la victoria de Trump el 6 de enero y que la investidura se realice el día 20 de ese mes.

Smith destacó que la fiscalía ha consultado con los abogados defensores y apuntó que estos no se han opuesto a la pausa.

Según el diario The New York Times, Smith ya había iniciado discusio -

Lighthizer, invitado como jefe comercial y Wiles del gabinete en la Casa Blanca

Robert Lighthizer, firme partidario de los aranceles, ha sido invitado a regresar como Representante de Comercio de Estados Unidos en el gobierno del presidente electo Donald Trump, informó ayer viernes el Financial Times, que citó a varias personas familiarizadas con las conversaciones en el equipo de transición.

Lighthizer fue una de las principales figuras en la guerra comercial de Trump con China y en la renegociación del Tratado entre México, Estados Unidos y Canadá (T-MEC) durante su primer mandato. El exfuncionario Lighthizer había presionado para un papel diferente, como secretario de Comercio, dijo el Financial Times. El jueves, Trump anunció que había elegido a Susie Wiles, una de sus dos líderes de campaña, como jefa de gabinete de la Casa Blanca.

nes con integrantes del Departamento de Justicia sobre cómo avanzar tras las elecciones en los dos casos federales contra Trump: El del asalto al Capitolio y la acusación en Florida por haberse llevado de la Casa Blanca documentos clasificados al abandonar el poder.

¿PASOS EN LA AZOTEA? El republicano dijo durante la campaña electoral que en su primer día como presidente despediría al fiscal Smith y ordenaría al Departamento de Justicia cerrar los casos en su contra que, según sostiene, están motivados por una persecución política.

William habla del diagnóstico de cáncer de su esposa y padre

William, príncipe de Gales, describió el último año como brutal tras los diagnósticos de cáncer de su esposa y su padre. “Honestamente, ha sido terrible”, dijo.

Al hablar con reporteros al final de un viaje de cuatro días a Sudáfrica, el heredero al trono británico calificó al 2024 como probablemente “el año más difícil de mi vida. Así que intentar seguir adelante con todo lo demás y mantenerlo todo en curso ha sido realmente difícil”, añadió el príncipe.

Más info

El virtual presidente Donald Trump enfrenta cuatro juicios penales paralelos: Esos dos federales y otros dos en cortes locales de Nueva York y de Georgia. El único de ellos donde hay condena es el que tiene en Nueva York.

Para el 21 de noviembre estaba previsto que los abogados de Trump presentaran a la jueza su documentación sobre por qué no debería ser juzgado en Washington después de que el Tribunal Supremo de Estados Unidos fallara que los expresidentes gozan de una amplia inmunidad judicial.

Smith indicó en su nota que para el 2 de diciembre puede presentar un informe con el resultado de sus deliberaciones. El fiscal especial no ha solicitado de momento una pausa en el proceso en Florida.

Chocan fans israelíes y propalestinos en los Países Bajos

Hinchas israelíes fueron agredidos después de un partido de la Liga Europa en Ámsterdam por hordas de jóvenes aparentemente incitados por llamados en redes sociales para atacar a personas judías, dijeron las autoridades holandesas ayer viernes.

Cinco personas fueron tratadas a hospitales por lesiones y docenas fueron arrestadas tras los ataques, que fueron condenados como antisemitas por autoridades en Ámsterdam, Israel y en toda Europa.

Reportes de discursos antisemitas, vandalismo y violencia han estado en aumento en Europa desde el inicio de la guerra en Gaza, y las tensiones crecieron aún más en Ámsterdam antes del partido del jueves por la noche entre el equipo holandés Ajax contra el Maccabi de Tel Aviv. Las autoridades locales habían prohibido que manifestantes propalestinos se reunieran afuera del estadio, y un video mostró a una gran multitud de aficionados israelíes entonando consignas antiárabes en camino al juego.

La policía dijo que la seguridad se reforzará en las instituciones judías de la ciudad que tiene una gran comunidad judía y que fue el hogar de Anna Frank, y su familia mientras se escondían de los ocupantes nazis durante la Segunda Guerra Mundial.

Posteriormente, jóvenes en patinetas y a pie cruzaron la ciudad en busca de hinchas israelíes, a quienes golpear y patearon antes de huir rápidamente para evadir a la policía, dijo la alcaldesa de Ámsterdam, Femke Halsema. Según informó Halsema, en la plataforma de redes sociales Telegram “se habla de gente yendo a cazar judíos. Eso es tan impactante y tan despreciable que todavía no puedo entenderlo”. El Ministro de Justicia y Seguridad de Holanda, David van Weel, prometió rastrear y procesar a los perpetradores. La policía tuvo que escoltar a algunos aficionados de regreso a sus hoteles.

Incautación récord de ‘coca’ en España

Las declaraciones de William en Sudáfrica son las primeras en las que aborda sus sentimientos en detalle con relación a sus dos parientes.

La esposa del príncipe se recuperó tras una cirugía y quimioterapia

”Pero estoy muy orgulloso de mi esposa, estoy orgulloso de mi padre, por cómo han manejado las cosas que han hecho. Pero desde un

punto de vista personal y familiar, ha sido, sí, ha sido brutal”, dijo William. El rey Carlos III fue diagnosticado con un tipo

no revelado de cáncer en febrero, lo que le obligó a cancelar sus apariciones públicas durante dos meses mientras se concentraba en su tratamiento y la recuperación. Por su parte, Kate Middleton, la princesa de Gales, anunció su diagnóstico de cáncer unas semanas después y está regresando lentamente a sus deberes públicos tras completar un ciclo de quimioterapia.

La Policía Nacional de España incautó un cargamento de 13 toneladas de cocaína, lo que representa el mayor decomiso de drogas en la historia del país.

Hasta ahora, los dos mayores decomisos registrados habían ocurrido en 2023 (9.4 toneladas) y 2018 (8.7 toneladas), detalló la Policía.

El decomiso ocurrió en el puerto de Algeciras, al sur de España, donde la cocaína fue localizada en un contenedor que formaba parte de un cargamento de bananos procedente del puerto de Guayaquil, Ecuador. La droga, empaquetada en ladrillos y detectada por medio de escáneres, estaba oculta por una pantalla formada por cajas con la fruta. La Policía de España dijo que este operativo tuvo apoyo de la Policía de Ecuador.

Lluvias arrastran vehículos en Girona, no se reportan heridos

Hasta 32 vehículos en Cadaqués (Girona) fueron afectados por las lluvias de ayer viernes por la madrugada en las comarcas del Alt y el Baix Empordà, al ser arrastrados por el río que atraviesa el municipio. Hasta el momento, no hay aviso de personas heridas en el incidente.

Tal parece que Trump se saldrá con la suya en los casos que se le siguen
Más info

OBREGÓN

Escanea para más información en la web

La experiencia y juventud coadyuvan en la Cruz Roja

ROMÁN

Tras la rutina de revisión de equipos, insumos e incluso tomar un café platicando con los compañeros, el día de un paramédico apenas está por comenzar, y es que tras recibir un llamado, desde ese momento todo puede pasar y tienen que estar preparados para cualquier adversidad.

En Cruz Roja la preparación y vocación de ayudar son un binomio que no distingue edad ni género, y que amalgama a sus integrantes como una gran familia, dispuesta a arriesgar su vida por salvar la del prójimo, tal es el caso de Arleth y Jesús.

Con solo 22 años de edad, y con aproximadamente dos meses de ser miembro de la institución de rescatistas, Arleth Marbella González se dio a

En breve

conocer mediáticamente por su labor en uno de los llamados que atiende cada jornada, logrando salvar la vida de un electrocutado a inicio de semana.

“Mi mamá ese día me marcó y me dijo, ‘estoy muy

Por falta de doctores y medicinas, jubilados del SNTE se manifiestan

orgullosa de ti hija’, mi papá también trabaja casi todo el día y no lo veo más que en las noches y le dije, me van a hacer una entrevista. ‘Me mandas saludos’ respondió, se sienten muy orgullosos de mí como paramédico y pues como hija”, compartió.

Asimismo, señaló que cada servicio es una oportunidad de ayudar, con la consigna de salvar vidas. “La meta es que si llegamos tres en la ambulancia salgamos no solo esos tres con vida, sino todas las personas víctimas”.

Jesús Alfonso Sandoval Rodríguez, paramédico de 54 años de edad y quien atendió el reciente llamado con su compañera Arleth, relató que no siempre se tienen finales felices, pero no por eso se desensibilizan por las desgracias.

Nos pueden ver aquí en Navidad, en lugar de estar con nuestra familia y estamos felices porque sabemos que podemos salvar una vida, en Semana Santa, Año Nuevo, cada fecha en que la gente está celebrando para nosotros es estar aquí y afortunadamente nuestras familias nos entienden”.

“Tengo muy presente un llamado de hace veinticinco años, un muchacho se electrocutó en el aeropuerto, al llegar él estaba con quemaduras de primero y segundo grado, lo empaquetamos lo bajamos y al estar haciendo el traslado, me puse a platicar con el paciente, para que no se durmiera o algo así, y me dijo que ese día era su cumpleaños, estaba cumpliendo años ese día y pues desgraciadamente murió en el hospital”, finalizó.

Javier Lamarque Cano arranca obras de rehabilitación de calles Ayer, jubilados y pensionados pertenecientes a la Sección 54 del Sindicato Nacional de Trabajadores de la Educación (SNTE) se manifestaron en las instalaciones del Instituto de Seguridad y Servicios Sociales para los Trabajadores del Estado de Sonora (Isssteson). Leonel Acedo Félix, uno de los manifestantes, denunció que en la clínica Adolfo López Mateos, no se cuenta con el personal médico suficiente para atender la demanda, ni tampoco hay medicamentos suficientes.

Con una inversión de ocho millones 890 mil pesos para beneficiar a 15 mil habitantes de las colonias Valle Dorado, Villa Fontana, Jardines del Valle y El Rodeo, el presidente municipal, Javier Lamarque, dio el banderazo de inicio a las obras de pavimentación con carpeta asfáltica y rehabilitación de infraestructura hidráulica y sanitaria en las calle Valle del Algodón entre Búffel y 5 de Febrero, así como la calle Paseo Las Palmas, entre 5 de Febrero y Jalisco.

Arleth Marbella González y Jesús Alfonso Sandoval integrantes de Cruz Roja Cajeme
JOSÉ LUIS OSEGUEDA
COORDINADOR CRUZ ROJA

Escanea para más información en la web

Elías Retes se gasta el dinero para aguinaldos

Los más de mil millones de pesos que recibió el municipio de Navojoa para este 2024, resultaron insuficientes ante los malos manejos financieros de Jorge Alberto Elías Retes, quien por segundo año consecutivo, volverá a endeudar al municipio para poder cumplir con los compromisos de fin de año.

De nueva cuenta, Elías Retes solicitó a Cabildo, la aprobación de un crédito por más de 40 millones de pesos (mdp), los cuales, serán utilizados para el pagodeaguinaldos,primas vacacionales y el sueldo de sus trabajadores. Un recurso que ya estaba presupuestado, sin embargo, el alcalde decidió gastarlo.

NUEVO CRÉDITO

Cabe señalar que en tan sólo dos años, Elías Retes, ha endeudado a Navojoa con más de 144 mdp, de los cuales, 104 millones fueron solicitados desde el año 2023, sin embargo, lejos de poner orden a las finanzas como tanto lo presume, la Comuna cerrará el 2024 con un nuevo préstamo por hasta 40 mdp, los cuales, sólo beneficiarán a los empleados del Ayuntamiento, cuando pudieron utilizarse para resolver los rezagos de la ciudad.

El nuevo endeudamiento fue aprobado por la mayoría de los regidores, a excepción del grupo opositor de la coalición ‘Fuerza y Corazón por México’ (PRI-PAN-PRD), quienes expresaron su desconfianza hacia la actual administración, debido a que se trata de los mismos funcionarios, quienes aparen-

Este endeudamiento es obligado por factores como la reducción de participaciones federales y estatales, el déficit financiero por 80 millones de pesos que se viene arrastrando de administraciones anteriores y el exceso de sindicalizados”.

JORGE ELÍAS RETES PRESIDENTE MUNICIPAL

temente no respetaron lo presupuestado.

“Yo pudiera haber entendido, porque eso pasa cuando entra una administración totalmente nueva, pero en este caso son los mismos actores… El presupuesto de egresos se hizo por los mismos funcionarios y ahora resulta que no hay dinero”, señaló Víctor Leonel Félix Karam, regi-

En nuestro proyecto, va a ser necesario recurrir a financiamientos de corto plazo, por hasta 40 mdp que nos permitan terminar el año cumpliendo puntualmente las prestaciones laborales y mantener la prestación de servicios”.

MARCO ANTONIO SÁNCHEZ COMISIÓN DE HACIENDA

dor por el Partido Acción Nacional (PAN).

SIN AHORROS Por su parte, la tesorera municipal, María del Rosario Santiago Vizcarra, aseguró que les fue imposible realizar un ahorro para el pago de aguinaldos y demás compromisos de fin de año, debido al pago de los créditos anteriores, así como a la reducción de par-

Hacer frente al pago de aguinaldos con préstamos ¿qué nos dice? Que la administración no visionó las aportaciones mensuales que son para ello, como lo dice la Ley... Desconocemos en que se fue ese dinero que estaba previsto”.

ROSA ALICIA ORTEGA REGIDORA M. CIUDADANO

ticipaciones, lo cual, provocó una falta de liquidez.

“No se pudieron hacer las reservas que deberíamos estar haciendo, como lo es ir guardando en una cuenta bancaria la parte proporcional de este recurso, porque nos fue imposible hacer estas reservas, por eso se solicita este crédito financiero”, afirmó la funcionaria municipal.

Ayuntamiento de Álamos y escuelas se alistan para el Desfile Revolucionario

El Gobierno Municipal de Álamos se reunió con las instituciones educativas para preparar el próximo Desfile Revolucionario.

“Este encuentro tuvo como objetivo coordinar a las

Secundaria realiza conferencias sobre educación en sexualidad

La escuela secundaria ‘Othón Almada’, realizó una nueva edición de la ‘Feria de la Educación Integral en Sexualidad’, en coordinación con Narconon y el Centro de Integración Familiar y del Adolescente (CIFA). “Nuestro objetivo es desarrollar jornadas educativas en la Escuela Integral en Sexualidad (EIS) que fortalezcan el conocimiento sobre derechos sexuales y reproductivos, integrando actividades lúdicas, artísticas y deportivas”, dijo Eliana Castro, directora del DIF Municipal.

instituciones involucradas y ajustar detalles para asegurar la participación activa de cada institución en la conmemoración de la Revolución Mexicana”, señaló Rosario Corrales Palafox, secretario del Ayuntamiento.

La temperatura descenderá considerablemente este fin de semana

Un nuevo frente frío llegará este domingo

Especialistas en meteorología anunciaron un nuevo frente frío este fin de semana en la región del Mayo, por lo que se exhortó a la población a protegerse de las próximas bajas temperaturas, las cuales, serán más duras que el año pasado.

Manuel Aguilar, meteorólogo de la región, aseguró que este fin de semana, se presentará el frente frío número ocho, el cual, congelará el área serrana del Estado, provocando que el sur de Sonora registre temperaturas gélidas en las primeras horas del día.

“Los pronósticos indican que para el sur del Estado estará bajando la temperatura mínima hasta los ocho grados centígrados, mientras que la máxima será de 25 grados, lo cual, quiere decir que tendremos mucho frío este fin de semana”, señaló.

Por ello, recomendó estar atentos a los avisos de Protección Civil, así como mantenerse hidratados y bien alimentados, debido a que las bajas temperaturas pudieran ocasionar una serie de resfriados.

“Los cambios de clima son los que generan muchas enfermedades, porque al estar calientitos en casa y salir a la calle, es

A la reunión acudió Rosario Rafael Enríquez Corral, el delegado regional de la Secretaría de Educación y Cultura (SEC), quien junto a representantes y directores de todas las instituciones educativas, definieron los límites de su participación y los aspectos logísticos del desfile.

Entre las instituciones presentes estuvieron la

Calle Manuel Doblado seguirá parcialmente cerrada al tráfico

La Secretaría de Infraestructura Urbana y Ecología (SIUE) en el municipio de Navojoa, anunció que parte de la calle Manuel Doblado permanecerá cerrada al tráfico, debido a los trabajos de rehabilitación con concreto hidráulico. El punto en cuestión se encuentra entre las calles Pedro Moreno y Corregidora en la colonia Constitución, por lo que se exhortó a la población a buscar rúas alternas, para evitar que sus actividades cotidianas resulten afectadas.

El meteorólogo Manuel Aguilar aseguró que el próximo frente frío será más fuerte que el año pasado; además recordó que durante el invierno del 2023 se presentaron sólo dos frentes fríos y ahora se espera que sumen ocho en la región.

En cifras 8

Grados centígrados, será la temperatura mínima para este fin de semana, por lo que se exhotó a extremar cuidados. cuando les pega un golpe de frío”, afirmó.

‘Manny’ Aguilar, precisó que se espera una alta presión para los próximos días 13 y 15 de noviembre, donde las temperaturas continuarán gélidas durante las mañanas y el frío se quedará para el resto del año, sin embargo, aseguró que no se trata de fríos normales, sino que serán más fuertes que lo registrado el año pasado a esta misma fecha.

“No son frentes fríos normales, son frentes fríos muy gélidos”, dijo.

escuela secundaria ‘Paulita Verján número 15’, la secundaria ‘Profesor Adrián Salas Madera’, el jardín de niños ‘Fernando Montes de Oca’, la escuela primaria ‘Revolución’, la primaria ‘Bartolomé M. Salido’, CAME 19 ‘Manuel Enríquez Munguía’, el jardín de niños ‘Narciso Bassols’ y el Colegio de Bachilleres del Estado de Sonora (Cobach), plantel de Álamos.

En breve
La Delegación de la SEC se reunió con el Ayuntamiento
La solicitud de un nuevo crédito fue aprobado por la mayoría de los regidores en Navojoa
Más info

GUAYMAS

Escanea para más información en la web

Los accidentes en motocicletas aumentan un 55% en el Puerto

JAVIER SANTÍN

redaccion@tribuna.com.mx

Los accidentes viales ocasionados por motociclistas registran un incremento en el Puerto, pese a las medidas de Tránsito Municipal que no han dado resultados, mientras que la delegación local de Cruz Roja prepara una campaña de concientización del uso de vehículos livianos, ante el aumento de un 55 por ciento de percances en el casco urbano de Guaymas.

Enagostolasautoridades municipales realizaron operativos contra motocicletas, donde lograron detener a más de 60 personas y sus unidades livianas al no contarconcasco,licencia,placas y luces, logrando con la medida reducir los accidentes, pero al parecer fue ‘llamarada de petate’ porque desde hace un mes los accidentes van en aumento.

SE DESCONTROLÓ

Martín Figueroa Velderráin, coordinador local de voluntariado y vocero de Cruz Roja en Guaymas precisó que, en el periodo del 25 de octubre al 5 de noviembre, se tuvo un aumento de los accidentes viales, donde precisamente se vieron involucrados algunos motociclistas.

Figueroa Velderráin subrayó que tan solo el pasado fin de semana, los técnicos en urgencias médicas de la benemérita institución atendieron al menos cinco accidentes de motocicleta, en los cuales resultaron personas con lesiones graves, incluyendo fracturas severas y traumatismos.

Recordó que durante los meses de agosto a octubre se había logrado una disminución en la cifra de accidentes, después de que el Ayuntamiento, mediante

Marisqueros deben recoger sus desechos

Para prevenir contaminación generada por desechos de mariscos en el estero ‘El Rancho’, los propietarios de los establecimientos ubicados sobre el puente Douglas deben contratar un servicio de recolección de basura privada.

Víctor Manríquez Soto, subdirector de la Dirección de Ecología y Medio Ambiente en Guaymas, destacó la disponibilidad de quienes trabajan diariamente en el tramo carretero de Empalme a Guaymas, precisamente

En breve

Tránsito Municipal, realizó operativos para regular el uso de los vehículos livianos en el Puerto.

Adelantó que ante este incremento la delegación de Cruz Roja implementará una campaña de concientización sobre la importancia del manejo

Durante el presente año se han registrado accidentes trágicos donde los choferes de las motocicletas han perdido la vida

seguro y responsable de motocicletas “esta iniciativa busca sensibilizar a los motociclistas sobre las medidas preventivas necesarias para reducir los riesgos de accidentes en las calles de la ciudad”. Agregó que la campaña estará dirigida a fomentar el respeto a las normas de tránsito y el uso

adecuado del equipo de protección, con el objetivo de evitar más incidentes y salvar vidas en la región.

EMPALME, AL ALZA

En Empalme la situación está peor, donde de acuerdo con el comisario de Seguridad Pública, Luis Ángel Flores Estrada, el 80

En Guaymas líderes de motociclistas acordaron con las autoridades tomar cursos de vialidad con agentes de Tránsito Municipal, pero han pasado tres meses y el secretario del Ayuntamiento no ha programado las pláticas.

por ciento de los accidentes viales en el municipio involucran a motociclistas, principalmente a jóvenes de entre 14 y 20 años.

Dijo que las estadísticas de las corporaciones de auxilio muestran un incremento significativo en la incidencia de estos accidentes, pasando del 42 por ciento al 72. Ante tal aumento, anunciaron que a partir del 15 de noviembre implementarán operativos permanentes a los motociclistas, donde se les exigirá contar con licencia de conducir, placas de circulación y casco protector, de lo contrario serán multados.

en la venta de pescados y mariscos, que aceptaron no continuar con el almacenamiento de los desechos de sus productos en el exterior de sus locales comerciales. Precisó que con el propósito de prevenir contaminación en las aguas del estero ‘El Rancho’, se inició esta semana con la entrega de una circular, donde se solicitó a los comerciantes contar con el servicio de recolección de sus residuos. Detalló que “aparte de prevenir la contamina -

Comunidades yaquis tendrán su carro recolector de basura

Al encabezar una reunión regional con alcaldes de diversos municipios en Guaymas, el titular del Consejo Estatal de Concertación para la Obra Pública (Cecop), David Mendoza, anunció que las comunidades yaquis tendrán un carro recolector de basura. Asimismo, adelantó que se contemplan diversas obras en el presupuesto del próximo año en beneficio de los ciudadanos de Guaymas y Empalme, destacando la visión municipalista del gobernador Alfonso Durazo.

ción ambiental, se tendrá el mejoramiento en la imagen del lugar, en el estero hay especies de aves y pelicanos que no

Funcionarios notifican a los propietarios de comercios

podemos poner en riesgo, es de ahí de que surgió la iniciativa de invitarlos a no provocar más contaminación”, explicó.

Buscan reactivación de la Coordinación de Transporte

Para coadyuvar en la vigilancia del servicio urbano en Guaymas, regidores integrantes de la Comisión de Transporte pretenden ‘revivir’ la Coordinación Municipal que dejó de operar hace años. Ricardo González, regidor y presidente de la comisión, detalló que la Ley de Gobierno Municipal faculta a los ediles a trabajar en la inspección, principalmente en la forma en que se presta el servicio de transporte urbano, teniéndose el interés de apoyar a la población que diariamente utiliza los camiones.

Martín Moreno es nuevo titular de Protección Civil en Empalme

Fue designado como nuevo titular de la Coordinación Municipal de Protección Civil de Empalme, Martín Moreno, técnico en urgencias médicas y bombero, con una experiencia de más de 15 años en instituciones de emergencias en la región. Afirmó que se trabajará para desarrollar las acciones preventivas ante la temporada invernal, donde se esperan diferentes frentes fríos en la localidad y primordial es proteger a la población vulnerable, tanto en el área rural como urbana.

El edil adelantó que se buscará un consenso con los demás regidores para que el próximo año se tenga la Coordinación Municipal del Transporte en apoyo de la delegación regional del Instituto de Movilidad y Transporte del Estado de Sonora (IMTES).

México debuta hoy ante Venezuela en el Premier 12

STAFF redaccion@tribuna.com.mx

Se vivirá una auténtica fiesta beisbolera en Guadalajara y Tepic, pues en cuestión de horas se cantará ‘playball’ y comenzará de manera oficial el torneo Premier 12, en donde México hoy hará su debut ante Venezuela.

Conlapresióndejugaren casa y el incentivo adicional de que el certamen es una antesalaalosJuegosOlímpicos de Los Ángeles 2028, la Selección Tricolor se prepara para escribir un capítulo doradoantesugente.

El pitcher mexicano Manny Bañuelos, con experiencia en Grandes Ligas, liderará la rotación con la misión de frenar a la ofensi-

va venezolana, liderada por figuras como Hernán Pérez y Ramón Flores.

Aunque los aztecas estarán como locales, el reto de quedar entre los primeros dos del grupo para avanzar, no será nada sencillo, ya que chocarán ante Estados Unidos, Venezuela, Puerto Rico, Países Bajos y Panamá.

TRASCENDER

Esta vez, el Premier 12 representa para el equipo de Gil una nueva oportunidad de demostrar que México tiene lo necesario para estar en la élite del beisbol mundial y conseguir el boleto a la siguiente ronda, que se disputará en Tokio, a finales de este mismo mes.

“No venimos a participar, sino a ganar la medalla de oro”, afirmó Gil ayer durante conferencia de prensa.

Cabe señalar, que Guadalajara será la sede de todos los encuentros que tenga la Selección Mexicana del 9 al 14 de noviembre. Mientras que el nuevo Estadio de Tepic, Coloso del Pacífico, igualmente albergará cinco juegos oficiales.

Tomateros toma ventaja en la serie

En lo que fue una notable labor del experimentado

lanzador Manny Barreda, los Tomateros de Culiacán ‘apagaron’ la ofensiva de los Yaquis, al ganar 7-1 y tomar ventaja en la serie.

El pitcher de la ‘Nación Guinda’ colgó el cero, en espacio de siete entradas completas, en donde únicamente recibió dos imparables y recetó tres ponches.

A su vez, el descalabro fue para el cubano Odrisamer Despaigne, ya que permitió dos rayitas, en seis capítulos de actividad. Le siguieron al relevo, Willeman, Salinas que permitió otras dos carreras y Zaragoza, a quien le hicieron otro par.

Los Tomateros lograron romper el cero en la tercera entrada, cortesía de Luis Verdugo que con doblete remolcó a Rudy

Fue en la octava, cuando los locales definieron el juego con un rally de cinco rayitas, comandado por un grand slam del cajemense Édgar ‘El Conejo’ Robles.

Mientras que en la novena, Kennys

En cifras 12:30 Horas de hoy, es cuando oficialmente arranque el torneo Anual de Golf ‘Manos Amigas 2024’ en Cajeme.

Las inscripciones tienen un costo de tres mil 500 pesos

Arranca Anual de Golf ‘Manos Amigas 2024’

Desde este día se jugará la primera ronda de 18 hoyos en la edición 2024 del torneo Anual de Golf ‘Manos Amigas’, en los ‘links’ del Club de Golf de Ciudad Obregón.

El tradicional evento golfístico de ayuda a personas fármaco dependientes se desarrollará en modalidad de parejas y en los sistemas del mejor bola (best ball) y mejor

tarjeta, sobre una distancia de 36 hoyos.

Una bolsa de 238 mil pesos en efectivo estarán en juego en cuatro categorías, con 160 mil para los equipos campeones, subcampeones y terceros, 18 mil para los primeros lugares, 14 mil para los segundos y ocho mil para los terceros.

En los o’yeses se repartirá el resto del premio (78 mil pesos), para los tres mejores acercamientos a la bandera en los hoyos dos, cuatro, seis, 14 y 16.

Siete nuevos ‘inmortales’ entran al Salón de la Fama del Beisbol

En un ambiente cargado de emotividad, memorias y celebraciones, el Salón de la Fama del Beisbol Mexicano llevó a cabo ayer, su ceremonia de entronización 2024, en donde siete nuevas leyendas fueron honradas con su ingreso al recinto de los inmortales.

El evento reunió a cerca de 400 invitados ayer, incluyendo destacadas personalidades del beisbol, así como Horacio de la Vega Flores, presidente de la Liga Mexicana de Beisbol y el ingeniero Carlos Manrique González, presidente de la Liga Mexicana del Pacífico.

EL SELECTO GRUPO

Los homenajeados fueron: Juan Manuel Palafox, quien fue destacado serpentinero; Ramón Orantes, formidable antesalista; Cecilio Ruiz, pitcher de gran categoría; Miguel Flores, reconocido segunda base; Yovani Gallardo, quien fuera una gran estrella en las Grandes Ligas; Ricardo Sandate, recordado por ser un zurdo de gran efectividad y Luis Alberto Ramírez, ampayer con la mayor proyección internacional.

Cada uno de ellos compartió conmovedores mo-

mentos de su trayectoria, anécdotas inolvidables y homenajes a compañeros que marcaron sus carreras.

Mientras que, en un giro sorpresivo, se proyectaron mensajes en video de sus familiares, añadiendo un toque de sensibilidad y emoción que conmovió a todos los presentes.

Con esta entronización, el Salón de la Fama del Beisbol Mexicano alcanza un total de 223 inmortales, reafirmando su legado como el máximo reconocimiento en el beisbol tricolor.

Aaron Boone

seguirá un año más con los Yankees

Los de New York Yankees anunciaron ayer que ejercieron la opción de que el dirigente Aaron Boone se mantenga con el club durante un año más.

Boone llevó a los de la Gran Manzana a tener un récord de 94-68 en el 2024. Nueva York ganó el título del Este de la Liga Americana y llegó hasta la Serie Mundial, cayendo en cinco juegos frente a los Dodgers.

Desde que Boone llegó al dugout de los Yankees en el 2018, el equipo ha promediado 95 victorias por temporada (con la excepción del 2020, cuando se

realizaron apenas 60 partidos) y han clasificado para los playoffs en seis de sus siete campañas en el Bronx. “Estoy agradecido por la confianza depositada en mí para encabezar el equipo”, dijo Boone en un comunicado de los Yankees. “Es una responsabilidad y una oportunidad que jamás tomaré a la ligera”, dijo ayer el manager.

Boone es apenas el segundo manager en la historia de Grandes Ligas en alcanzar la postemporada seis de sus primeros siete años con el timón de un club, uniéndose a Dave Roberts de los Dodgers.

El bolichista sonorense Irving Varela acudirá al Centroamericano Juvenil

Irving Gael Varela fue convocado para participar en el Campeonato Centroamericano Juvenil que se celebrará del 23 de noviembre al primero de diciembre en San José de Costa Rica. El hermosillense, es uno de los 12 mexicanos que estarán en actividad.

‘Chicharito’ Hernández volvería a la actividad Luego de casi un mes alejado de los terrenos de juego por culpa de las lesiones, Javier Hernández está de regreso con Chivas. El delantero mexicano reapareció en la convocatoria del Rebaño tras no estar disponible ni para la banca durante ocho jornadas consecutivas. La última participación del ‘Chicharito’ con la camiseta rojiblanca se dio el 19 de septiembre en la octava fecha del Apertura 2024. El máximo goleador en la historia de la Selección Mexicana podría sumar minutos hoy cuando las Chivas Rayadas del Guadalajara reciban al Atlético San Luis en la última jornada del Apertura 2024. Este duelo es de suma importancia, pues en caso de ganar, el Rebaño podría clasificar de manera directa a la ‘Fiesta Grande’ del futbol.

Alfonso Rivas está de regreso con Naranjeros de Hermosillo Los Naranjeros de Hermosillo fortalecieron su ofensiva para la actual temporada con el regreso del infielder Alfonso Rivas quien la campaña pasada destacó con el equipo en los encuentros que vistió el jersey de los de la capital de Sonora.

Culiacán se lleva el primero de la serie
Martín para el 1-0, mientras que en ese mismo inning, Joey Meneses hizo la segunda con batazo de imparable.
Vargas remolcó la única carrera para los Yaquis.
EL JUEGO vs
Yaquis Tomateros 1 7
El Tri será local en el evento
En breve

Turn static files into dynamic content formats.

Create a flipbook
Issuu converts static files into: digital portfolios, online yearbooks, online catalogs, digital photo albums and more. Sign up and create your flipbook.