31514 73rd Ave E Homebook

Page 1

Click on “share” symbol in the bar below to get QR code

PROPERTY INFORMATION

LEGAL DESCRIPTION

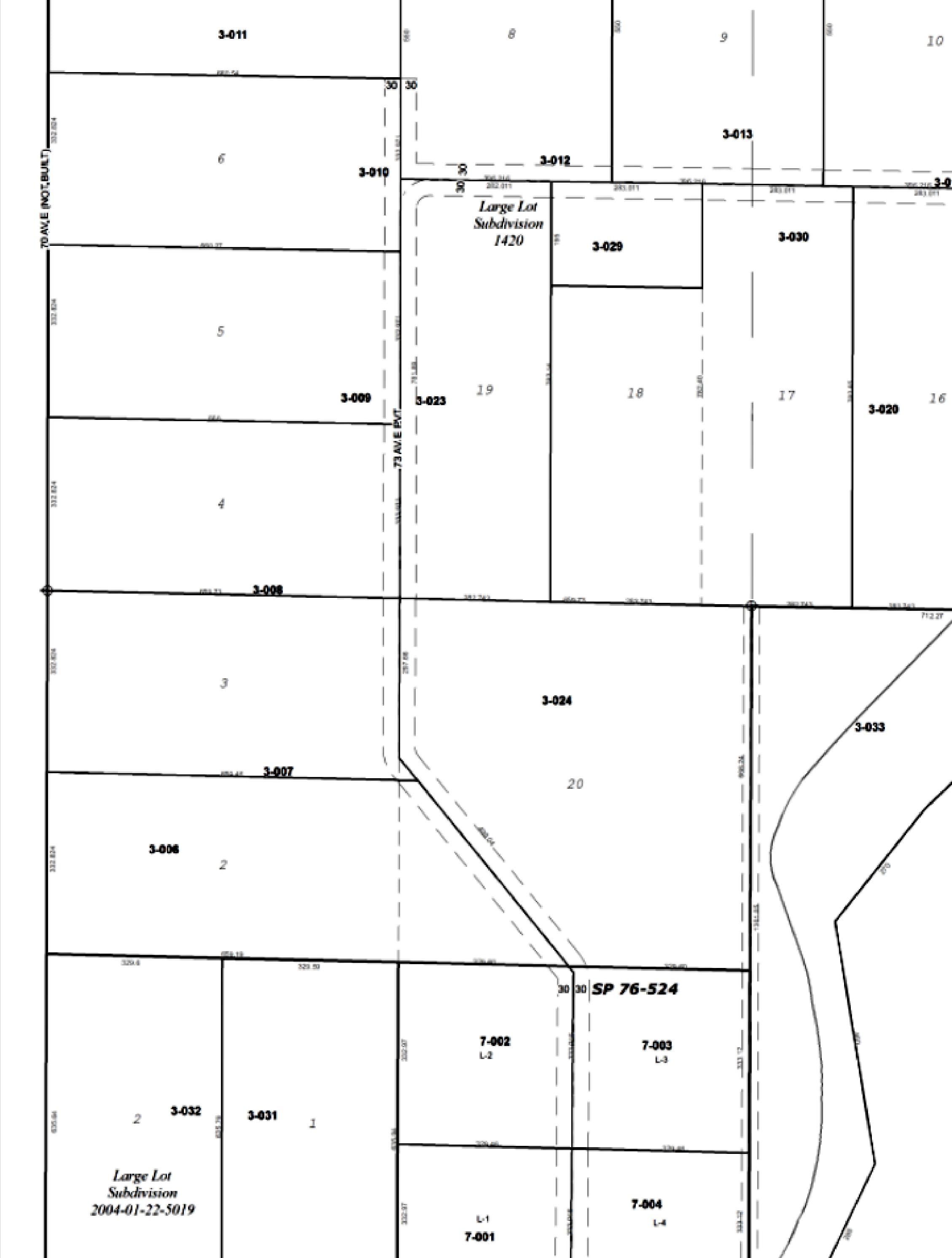
APN/PARCEL ID(S): 041708-3008

LOT 4, PIERCE COUNTY LARGE LOT SUBDIVISION NO. 1420, ACCORDING TO MAP RECORDED AUGUST 17, 1976 IN VOLUME 15 OF SURVEYS, PAGE 20, BEING A PORTION OF THE NORTHWEST QUARTER OF THE SOUTHWEST QUARTER IN SECTION 8, TOWNSHIP 17 NORTH, RANGE 4 EAST, OF THE WILLAMETTE MERIDIAN.

TOGETHER WITH A NON-EXCLUSIVE EASEMENT FOR PRIVATE ROAD, 60 FEET WIDE, AS DELINEATED ON PIERCE COUNTY LARGE LOT SUBDIVISION NO. 1420, ACCORDING TO MAP RECORDED AUGUST 17, 1976 IN VOLUME 15 OF SURVEYS, PAGE 20, RECORDS OF PIERCE COUNTY AUDITOR;

SITUATE IN THE COUNTY OF PIERCE, STATE OF WASHINGTON.

Property Details Report

Page 1
Subject Property Location Report Date: 06/27/2023 Property Address 31514 73RD AVE E Order ID: R119339222 City, State & Zip EATONVILLE, WA 98328-9642 County PIERCE COUNTY Property Use Single Family Residential Mailing Address 31514 73RD AVE E, EATONVILLE, WA 98328-9642 Parcel Number 0417083008 Census Tract 0731.17 Latitude 46.969781 Thomas Bros Pg-Grid Longitude -122.338659 Legal Description Details Lot Number: 4 Unit: 1420 Sec/Twn/Rng/Mer: SEC 08 TWN 17 RNG 04 Brief Description: SECTION 08 TOWNSHIP 17 RANGE 04 QUARTER 32 L 4 SURVEY #1420 DESC AS FOLL S 12 OF SW OF NW OF SW SEC 8 TOGW EASE OF REC 2.04 H Current Ownership Information *Source of Ownership data: Recorder Information Primary Owner Name(s) WEBKING, MICHAEL; WEBKING, WINTER Sale Price $581,699 Sale Date Recording Date 10/20/2021 Vesting Recorder Doc # 202110200833 Book/Page Latest Full Sale Information Primary Owner Name(s) WEBKING, MICHAEL; WEBKING, WINTER Sale Price $581,699 Sale Date 10/08/2021 Recording Date 10/20/2021 Vesting Recorder Doc # 202110200833 Book/Page Financing Details at Time of Purchase 1 Loan Amount $400,000 Origination Lender Name CHANGE LENDING LLC Loan Type Conventional Recording Doc # 202110200834 Property Characteristics Bedrooms 3 Year Built 1979 Living Area (SF) 1,260 Bathrooms/Partial 1.5 Garage/No. of Cars Detached Garage/6 Price ($/SF) $462/SF Total Rooms Stories/Floors 1 Story Lot Size (SF/AC) 219,542/5.04 Construction Type Frame No. of Units 1 Fireplace Two Fireplaces Exterior Walls Siding (not specified) No. of Buildings Pool Roof Material/Type Composition Shingle Basement Type/Area Heat Type Baseboard Foundation Type Slab Style A/C Property Type Residential View Elevator Land Use Single Family Residential Zoning Assessment & Taxes Assessment Year 2022 Tax Year 2022 Tax Exemption Total Assessed Value $331,200 Tax Amount $3,675.60 Tax Rate Area 630 Land Value $176,500 Tax Account ID Improvement Value $154,700 Tax Status Improvement Ratio 46.71% Delinquent Tax Year Total Value $331,200 Market Improvement Value $154,700 Market Land Value $176,500 Market Value Year 2022
Page 2 Lien History Trans. ID Recording Date Lender Amount Purchase Money 1 10/20/2021 CHANGE LENDING LLC $400,000 YES Loan Officer Insights Trans.ID 1 Loan Officer GREGG ANDERSON NMLS#61988 Broker NMLS# Loan Company CHANGE LENDING LLC NMLS#1839

Transaction History Report - Detailed View

Page 3
Subject Property Location Report Date: 06/27/2023 Property Address 31514 73RD AVE E Order ID: R119339223 City, State & Zip EATONVILLE, WA 98328-9642 County PIERCE COUNTY Property Use Single Family Residential Mailing Address 31514 73RD AVE E, EATONVILLE, WA 98328-9642 Parcel Number 0417083008 Transaction Summary Trans ID Recording Date Document Type Document Description Sale Price / Loan Amount Document Number Buyer / Borrower Seller 1 11/10/2021 Release Release of Mortgage 202111100717 TODD FORD AND SARAH P KELLEY AS HIS SEPARATE PROPERTY 2 10/27/2021 Release Full Release with Legal Description $217,000 202110270134 TODD FORD 3 10/20/2021 Mortgage Conventional $400,000 202110200834 WEBKING, MICHAEL; WEBKING, WINTER 4 10/20/2021 Deed Warranty Deed $581,699 202110200833 WEBKING, MICHAEL; WEBKING, WINTER FORD, TODD; FORD II, TODD ALLEN 5 06/22/2020 Release Release of Mortgage 202006220156 TODD ALLEN FORD II, AS HIS SEPARATE ESTATE 6 04/20/2020 Mortgage Credit Line $62,500 202004200410 FORD, TODD 7 08/27/2018 Mortgage Credit Line $25,000 201808270454 FORD II, TODD ALLEN 8 08/11/2016 Mortgage VA Loan $217,000 201608110663 FORD, TODD 9 08/11/2016 Deed Warranty Deed $216,719 201608110662 FORD, TODD CAMPANY, ERNEST; CAMPANY, HENIE 10 08/08/2016 Deed Warranty Deed $217,000 4406861 11 09/29/2006 Deed Warranty Deed $191,000 200609290752 CAMPANY, ERNEST; CAMPANY, HENIE FREESE, FRANCIS L; FREESE, MICHAL C Transaction History Legend Transfer Mortgage Mortgage Assignment Foreclosure Activity Mortgage Release Transaction Details Mortgage Release Transaction ID 1 Recorder Doc Number 202111100717 Loan Amount Effective Date 11/04/2021 Document Type Release Origination Doc # 202004200410 Borrower(s) Name TODD FORD AND SARAH P KELLEY AS HIS SEPARATE PROPERTY Document Description Release of Mortgage Origination Recording Date 04/20/2020 Current Lender UPF WASHINGTON INCORPORATED AS TRUSTEE Recording Date 11/10/2021 Original Lender OBEE CREDIT UNION Mortgage Release Transaction ID 2 Recorder Doc Number 202110270134 Loan Amount $217,000 Effective Date 10/27/2021 Document Type Release Origination Doc # 201608110663 Borrower(s) Name TODD FORD Document Description Full Release with Legal Description Origination Recording Date Current Lender NATIONWIDE TITLE CLEARING INC AS SUCCESSOR TRUSTEE Recording Date 10/27/2021 Original Lender MORTGAGE ELECTRONIC REGISTRATION SYSTEMS INC AS DESIGNATED NOMINEE FOR HOMESTREET BANK ITS SUCCESSORS AND ASSIGNS Mortgage Transaction ID 3 Recorder Doc Number 202110200834 Recorder Book/Page
Page 4 Mortgage Date Document Type Mortgage Rate Change Freq Loan Amount $400,000 Document Description Conventional 1st Periodic Floor Rate Loan Type Conventional Recording Date 10/20/2021 1st Periodic Cap Rate Origination Lender Name CHANGE LENDING LLC Origination Interest Rate Lifetime Cap Rate Origination Lender Type Mortgage company First Rate Change Date Change Index Type Financing Maturity Date 11/01/2051 IO Period Borrower 1 WEBKING, MICHAEL Balloon Rider Prepayment Penalty Rider Borrower 2 WEBKING, WINTER Fixed/Step Rate Rider Prepayment Penalty Term Additional Borrowers Adj Rate Rider Adj Rate Index Vesting Transfer Transaction ID 4 Recorder Doc Number 202110200833 Partial Interest Transferred Sale Date 10/08/2021 Document Type Deed Type of Transaction Arms-Length Transfer Sale Price $581,699 Document Description Warranty Deed Multiple APNs on Deed Recorder Book/Page Recording Date 10/20/2021 Property Use Single Family Residential Buyer 1 WEBKING, MICHAEL Buyer 1 Entity Married Couple Buyer Vesting Buyer 2 WEBKING, WINTER Buyer 2 Entity Married Couple Buyer Mailing Address 31514 73RD AVE E, EATONVILLE, WA 98328-9642 Seller 1 FORD, TODD Seller 1 Entity Unmarried Man Seller Mailing Address Seller 2 FORD II, TODD ALLEN Seller 2 Entity Individual Legal City/ Muni/ Township Legal Recorder's Map Ref VOL 15 PG 20 Legal Subdivision PIERCE COUNTY LARGE LOT SUBDIVISION NO 1420 Legal Section/ Twn/ Rng/ Mer NW4SW4 S08T17NR04E WM Legal Brief Description/ Unit/ Phase/ Tract Title Company Name TICOR TITLE Mortgage Release Transaction ID 5 Recorder Doc Number 202006220156 Loan Amount Effective Date 06/19/2020 Document Type Release Origination Doc # 201808270454 Borrower(s) Name TODD ALLEN FORD II, AS HIS SEPARATE ESTATE Document Description Release of Mortgage Origination Recording Date 08/27/2018 Current Lender UPF WASHINGTON, INCORPORATED, AS TRUSTEE Recording Date 06/22/2020 Original Lender OBEE CREDIT UNION Mortgage Transaction ID 6 Recorder Doc Number 202004200410 Recorder Book/Page Mortgage Date 04/14/2020 Document Type Mortgage Rate Change Freq Monthly Loan Amount $62,500 Document Description Credit Line 1st Periodic Floor Rate Loan Type Credit Line Recording Date 04/20/2020 1st Periodic Cap Rate Origination Lender Name O BEE CU Origination Interest Rate Lifetime Cap Rate Origination Lender Type Credit Union First Rate Change Date Change Index Type Financing Variable Maturity Date IO Period Borrower 1 FORD, TODD Balloon Rider Prepayment Penalty Rider Borrower 2 Fixed/Step Rate Rider Prepayment Penalty Term
Page 5 Additional Borrowers Adj Rate Rider Adj Rate Index Vesting Mortgage Transaction ID 7 Recorder Doc Number 201808270454 Recorder Book/Page Mortgage Date 08/21/2018 Document Type Mortgage Rate Change Freq Monthly Loan Amount $25,000 Document Description Credit Line 1st Periodic Floor Rate Loan Type Credit Line Recording Date 08/27/2018 1st Periodic Cap Rate Origination Lender Name O BEE CU Origination Interest Rate Lifetime Cap Rate Origination Lender Type Credit Union First Rate Change Date Change Index Type Financing Variable Maturity Date IO Period Borrower 1 FORD II, TODD ALLEN Balloon Rider Prepayment Penalty Rider Borrower 2 Fixed/Step Rate Rider Prepayment Penalty Term Additional Borrowers Adj Rate Rider Adj Rate Index Vesting Surviving Tenant by the Entirety Mortgage Transaction ID 8 Recorder Doc Number 201608110663 Recorder Book/Page Mortgage Date Document Type Mortgage Rate Change Freq Loan Amount $217,000 Document Description VA Loan 1st Periodic Floor Rate Loan Type VA Loan Recording Date 08/11/2016 1st Periodic Cap Rate Origination Lender Name HOMESTREET BANK Origination Interest Rate Lifetime Cap Rate Origination Lender Type Bank First Rate Change Date Change Index Type Financing Maturity Date 09/01/2046 IO Period Borrower 1 FORD, TODD Balloon Rider Prepayment Penalty Rider Borrower 2 Fixed/Step Rate Rider Prepayment Penalty Term Additional Borrowers Adj Rate Rider Adj Rate Index Vesting Transfer Transaction ID 9 Recorder Doc Number 201608110662 Partial Interest Transferred Sale Date 08/08/2016 Document Type Deed Type of Transaction Arms-Length Transfer Sale Price $216,719 Document Description Warranty Deed Multiple APNs on Deed Recorder Book/Page Recording Date 08/11/2016 Property Use Buyer 1 FORD, TODD Buyer 1 Entity Unmarried Person Buyer Vesting Buyer 2 Buyer 2 Entity Buyer Mailing Address 31514 73RD AVE E, EATONVILLE, WA 98328-9642 Seller 1 CAMPANY, ERNEST Seller 1 Entity Husband and Wife Seller Mailing Address Seller 2 CAMPANY, HENIE Seller 2 Entity Husband and Wife Legal City/ Muni/ Township Legal Recorder's Map Ref VOL15 PG20 Legal Subdivision LARGE LOT SUBDIVISION #1420 Legal Section/ Twn/ Rng/ Mer NW4SW4 S08T17NR04E WM Legal Brief Description/ Unit/ Phase/ Tract Title Company Name FIRST AMERICAN TITLE INS CO Transfer
Page 6 Transaction ID 10 Recorder Doc Number 4406861 Partial Interest Transferred Transfer Date Document Type Deed Type of Transaction Per Assessor Sale Price $217,000 Document Description Warranty Deed Multiple APNs on Deed Recorder Book/Page Recording Date 08/08/2016 Property Use Single Family Residential Buyer 1 Buyer 1 Entity Buyer Vesting Buyer 2 Buyer 2 Entity Buyer Mailing Address Seller 1 Seller 1 Entity Seller Mailing Address Seller 2 Seller 2 Entity Legal City/ Muni/ Township Legal Recorder's Map Ref Legal Subdivision Legal Section/ Twn/ Rng/ Mer SEC 08 TWN 17 RNG 04 Legal Brief Description/ Unit/ Phase/ Tract SECTION 08 TOWNSHIP 17 RANGE 04 QUARTER 32 L 4 SURVEY #1420 DESC AS FOLL S 12 OF SW OF NW OF SW SEC 8 TOGW EASE OF REC 2.04 H/ 1420/ / Title Company Name Transfer Transaction ID 11 Recorder Doc Number 200609290752 Partial Interest Transferred Sale Date 09/06/2006 Document Type Deed Type of Transaction Arms-Length Transfer Sale Price $191,000 Document Description Warranty Deed Multiple APNs on Deed 2 Recorder Book/Page Recording Date 09/29/2006 Property Use Buyer 1 CAMPANY, ERNEST Buyer 1 Entity Husband and Wife Buyer Vesting Buyer 2 CAMPANY, HENIE Buyer 2 Entity Husband and Wife Buyer Mailing Address 20003 4TH PL S, DES MOINES, WA 98198-3704 Seller 1 FREESE, FRANCIS L Seller 1 Entity Husband and Wife Seller Mailing Address Seller 2 FREESE, MICHAL C Seller 2 Entity Husband and Wife Legal City/ Muni/ Township UNINCORPORATED Legal Recorder's Map Ref MB15 PG20 Legal Subdivision Legal Section/ Twn/ Rng/ Mer Legal Brief Description/ Unit/ Phase/ Tract PIERCE COUNTY LARGE LOT #1420/ / / Title Company Name PNWT
Page 7
Subject Property Location Report Date: 06/27/2023 Property Address 31514 73RD AVE E Order ID: R119339224 City, State & Zip EATONVILLE, WA 98328-9642 County PIERCE COUNTY Property Use Single Family Residential Mailing Address 31514 73RD AVE E, EATONVILLE, WA 98328-9642 Parcel Number 0417083008 Owner Name WEBKING, MICHAEL; WEBKING, WINTER Subject
Aerial Map Report

NEIGHBORHOOD PROFILE

Page 8 Demographics Report Subject Property Location Report Date: 06/27/2023 Property Address 31514 73RD AVE E Order ID: R119339225 City, State & Zip EATONVILLE, WA 98328-9642 County PIERCE COUNTY Property Use Single Family Residential Mailing Address 31514 73RD AVE E, EATONVILLE, WA 98328-9642 Parcel Number 0417083008 Population Year Zip 98328 National 2011 10,423 306,603,772 2020 10,763 326,569,308 Growth Rate 3.3% 6.5% Growth Centile 54.4% 62.5% Households Year Zip 98328 National 2011 3,620 114,761,359 2020 3,778 122,354,219 Household Growth Rate 4.4% 6.6% Average Household Size 2.9 2.6 Families Year Zip 98328 National 2011 2,683 76,507,230 2020 2,715 79,849,830 Family Growth Rate 1.2% 4.4% Age Distribution/Gender Ratio Age Zip 98328 National 0-4 6.6% 6.0% 5-9 6.2% 6.1% 10-14 9.2% 6.5% 15-19 6.3% 6.5% 20-24 5.9% 6.7% 25-44 23.4% 26.5% 45-64 28.6% 25.6% 65-84 12.2% 14.1% 85+ 1.6% 2.0% Gender Ratio Male Ratio 49.9% 49.2% Female Ratio 50.1% 50.8%
Page 9 Household Income Income Zip 98328 National % < $25K 9.4% 18.4% % $25K-50K 14.6% 20.6% % $50K-100K 31.7% 30.0% % $100K-150K 25.6% 15.6% % >$150K 9.8% 7.1% Median Household Income Year Zip 98328 National 2020 $90,636.00 $64,994.00 Per Capita Income $36,296.25 $34,299.49 Household Income Centile National 87.5% State 82.8%
Page 10
Subject Property Location Report Date: 06/27/2023 Property Address 31514 73RD AVE E Order ID: R119339226 City, State & Zip EATONVILLE, WA 98328-9642 County PIERCE COUNTY Property Use Single Family Residential Mailing Address 31514 73RD AVE E, EATONVILLE, WA 98328-9642 Parcel Number 0417083008 Subject Property Address 31514 73RD AVE E, EATONVILLE, WA 98328 APN 0417083008 Owner WEBKING, MICHAEL; WEBKING, WINTER Lot Size (SF/AC) 219,542/5.04 Bedrooms 3 Year Built 1979 Living Area (SF) 1,260 Bathrooms/Partial 1.5 Garage/No. of Cars Detached Garage/6 Phones Nearby Neighbor #1 Address 31402 73RD AVE E, EATONVILLE, WA 98328 APN 0417083009 Owner CARREON LUZ & HERRERA SONIA Lot Size (SF/AC) 219,542/5.04 Bedrooms 3 Year Built 1990 Living Area (SF) 1,680 Bathrooms/Partial 1.75 Garage/No. of Cars Attached Garage/2 Phones Nearby Neighbor #2 Address 31216 73RD AVE E, EATONVILLE, WA 98328 APN 0417083011 Owner EDWARDS STEPHEN P & JULIE A Lot Size (SF/AC) 219,978/5.05 Bedrooms 3 Year Built 1979 Living Area (SF) 1,504 Bathrooms/Partial 1.5 Garage/No. of Cars Attached Garage/2 Phones Nearby Neighbor #3 Address 6921 320TH ST E, EATONVILLE, WA 98328 APN 0417074701 Owner ERICKSON BETTY N Lot Size (SF/AC) 851,598/19.55 Bedrooms 4 Year Built 1913 Living Area (SF) 1,592 Bathrooms/Partial 1 Garage/No. of Cars Phones Nearby Neighbor #4 Address 7007 320TH ST E, EATONVILLE, WA 98328 APN 0417083032 Owner HOLSTE HAROLD L & COLLEEN F Lot Size (SF/AC) 209,524/4.81 Bedrooms 3 Year Built 2007 Living Area (SF) 2,296 Bathrooms/Partial 2.5 Garage/No. of Cars Mixed/4 Phones Nearby Neighbor #5 Address 7115 320TH ST E, EATONVILLE, WA 98328 APN 0417083031 Owner SCHMIDT, LESTER W; SCHMIDT, JILL M Lot Size (SF/AC) 209,524/4.81 Bedrooms 2 Year Built 1941 Living Area (SF) 1,574 Bathrooms/Partial 1 Garage/No. of Cars Carport/1 Phones (253) 875-2672 Nearby Neighbor #6 Address 7420 313TH STREET CT E, EATONVILLE, WA 98328 APN 0417083020 Owner DUNBAR THOMAS L JR & BISCEGLIA TONY M Lot Size (SF/AC) 221,285/5.08 Bedrooms 3 Year Built 1984 Living Area (SF) 1,746 Bathrooms/Partial 1 Garage/No. of Cars Mixed/3 Phones
Nearby Neighbors Report
Page 11 Nearby Neighbor #7 Address 6615 320TH ST E, EATONVILLE, WA 98328 APN 0417074018 Owner ONEAL EDWARD L & SANDRA L Lot Size (SF/AC) 871,200/20 Bedrooms 3 Year Built 1987 Living Area (SF) 2,687 Bathrooms/Partial 2.5 Garage/No. of Cars Built-in/2 Phones Nearby Neighbor #8 Address 7122 310TH ST E, GRAHAM, WA 98338 APN 0417082019 Owner WOODRUFF KARL R & DAWN A Lot Size (SF/AC) 217,800/5 Bedrooms 3 Year Built 1976 Living Area (SF) 1,824 Bathrooms/Partial 1.75 Garage/No. of Cars Mixed/3 Phones (253) 847-5282 Nearby Neighbor #9 Address 7014 310TH ST E, GRAHAM, WA 98338 APN 0417082018 Owner HUDSON DANIEL J Lot Size (SF/AC) 217,800/5 Bedrooms 3 Year Built 1980 Living Area (SF) 2,206 Bathrooms/Partial 2.5 Garage/No. of Cars Built-in/2 Phones Nearby Neighbor #10 Address 31911 73RD AVE E, EATONVILLE, WA 98328 APN 0417087004 Owner VOGEL MARCIA S Lot Size (SF/AC) 99,752/2.29 Bedrooms 1 Year Built 1980 Living Area (SF) 828 Bathrooms/Partial 1 Garage/No. of Cars Phones Nearby Neighbor #11 Address 7423 313TH STREET CT E, EATONVILLE, WA 98328 APN 0417083014 Owner SMITH JESSICA A; SMITH CALEB Lot Size (SF/AC) 217,800/5 Bedrooms 3 Year Built 2021 Living Area (SF) 1,252 Bathrooms/Partial 2 Garage/No. of Cars Attached Garage Phones Nearby Neighbor #12 Address 32010 71ST AVENUE CT E, EATONVILLE, WA 98328 APN 0417172017 Owner BOTTGER ARTHUR E SR & MARY ANN Lot Size (SF/AC) 217,800/5 Bedrooms 3 Year Built 1999 Living Area (SF) 2,594 Bathrooms/Partial 2 Garage/No. of Cars Detached Garage/8 Phones Nearby Neighbor #13 Address 6812 310TH ST E, GRAHAM, WA 98338 APN 0417071015 Owner PRATT BILL H Lot Size (SF/AC) 217,800/5 Bedrooms 3 Year Built 1996 Living Area (SF) 2,254 Bathrooms/Partial 2 Garage/No. of Cars Carport/2 Phones Nearby Neighbor #14 Address 32011 71ST AVENUE CT E, SPANAWAY, WA 98387 APN 0417172025 Owner HAMRICK JOHN R & TINA M Lot Size (SF/AC) 258,746/5.94 Bedrooms 3 Year Built 1993 Living Area (SF) 2,377 Bathrooms/Partial 3.25 Garage/No. of Cars Phones
Page 12 Nearby Neighbor #15 Address 32115 71ST AVENUE CT E, EATONVILLE, WA 98328 APN 0417172024 Owner ADAM, ROSANNE Lot Size (SF/AC) 258,746/5.94 Bedrooms 3 Year Built 1989 Living Area (SF) 1,164 Bathrooms/Partial 2.25 Garage/No. of Cars Detached Garage/2 Phones

AREA INFORMATION

Community Services Pierce County

Car raCinG (for King, Pierce & Snohomish Counties)

City hall

Additional City and County information can be found at www.mrsc.org

of CommerCe • Auburn 108 S Division St, Ste B 253-833-0700 www.auburnareawa.org • Bonney Lake 18008 SR 410 E 253-840-9683 www.bonneylake.com • Buckley 121 N Cottage St 360-829-0975 www.buckleychamber.org • Eatonville PO Box 845 360-832-4000 www.eatonvillechamber.com • Edgewood 2026 54th Ave E 253-922-9320 www.fifechamber.org • Enumclaw 1421 Cole St 360-825-7666 www.enumclawchamber.com • Fife 2026 54th Ave E 253-922-9320 www.fifechamber.org • Fircrest 18560 - 1st Avenue NE 206-361-2260 www.shorelinechamber.com • Gig Harbor 3302 Harborview Dr. #2 800-359-8804 www.gigharborchamber.com • Lakewood 4650 Steilacoom Blvd SW Bldg 19, Ste 109 253-582-9400 www.lakewood-wa.com • Milton 2026 54th Ave E 253-922-9320 www.fifechamber.org • Orting PO Box 1418 360-893-7227 www.ortingchamberofcommerce.com • Puyallup 323 N Meridian 253-845-6755 www.puyallupchamber.com • Roy PO Box 444 360-458-6608 www.yelmchamber.com • Ruston 950 Pacific Ave, Ste 300 253-627-2175 www.tacomachamber.org • Steilacoom P.O. Box 88584 253-581-1912 www.steilacoom.org • Sumner 323 N Meridian 253-845-6755 www.eastpiercechamber.com • Tacoma 950 Pacific Ave, Ste 300 253-627-2175 www.tacomachamber.org • University Place 950 Pacific Ave, Ste 300 253-627-2175 www.tacomachamber.org
Chamber
• Auburn 25 W Main St 253-931-3000 www.ci.auburn.wa.us • Bonney Lake 19306 Bonney Lake Blvd 253-862-8602 www.ci.bonney-lake.wa.us • Buckley 933 Main St 360-829-1921 www.cityofbuckley.com • Carbonado 818 8th Ave 360-829-0125 • DuPont 303 Barksdale Ave 253-964-8121 www.ci.dupont.wa.us • Eatonville 201 Center St W 360-832-3361 www.eatonville.com • Edgewood 2221 Meridian Ave E 253-952-3299 www.ci.edgewood.wa.us • Enumclaw 1339 Griffin Ave 360-825-3591 www.ci.enumclaw.wa.us • Fife 5411 23rd St E 253-922-2489 www.cityoffife.org • Fircrest 115 Ramsdell St 253-564-8901 www.ci.fircrest.wa.us • Gig Harbor 3125 Judson St 253-851-8136 www.cityofgigharbor.net • Lakewood 6000 Main St SW 253-589-2489 www.cityoflakewood.us • Milton 1000 Laurel St 253-922-8733 www.cityofmilton.net • Orting 110 Train St SE 360-893-2219 www.cityoforting.org • Pacific 100 - 3rd Ave SE 253-929-1100 www.cityofpacific.com • Puyallup 330 - 3rd St SW 253-445-2641 www.cityofpuyallup.org • Roy 216 McNaught St S 253-843-1113 www.cityofroywa.us • Ruston 5117 N Winnifred St 253-759-3544 • South Prairie 121 NW Washington St 360-897-8878 www.townofsouthprairie.com • Steilacoom 1030 Roe St 253-581-1900 www.ci.steilacoom.wa.us • Sumner 1104 Maple St 253-863-8300 www.ci.sumner.wa.us • Tacoma 747 Market St, Ste 220 253-591-5000 www.cityoftacoma.org • University Place 3715 Bridgeport Way W, Ste B-1 253-566-5656 www.ci.university-place.wa.us • Wilkeson 540 Church St 360-829-0790 www.townofwilkeson.com
• Pacific Raceways 31001 144th Ave SE, Kent 253-639-5927 www.pacificraceways.com • Int’l Race Drivers’ Club 1107 S 4th St, Renton 206-783-2641 www.irdc-racing.com Page 2

Community Services Pierce County

Golf CoUrSeS

Additional golf course information, advice, lessons and answers to other questions can be found at:

golfersweb.com or www.golflink.com

18

PUbliC CoUrSeS

hoSPitalS

• Allenmore Hospital 1901 S Union Ave, Tacoma 253-459-6633 www.multicare.org • Auburn Regional 202 N Division St, Auburn 253-833-7711 www.armcuhs.com • Enumclaw Community 1450 Battersby Ave, Enumclaw 360-825-2505 www.fhshealth.org • Good Samaritan Hospital 407 - 14th Ave SE, Puyallup 253-697-4000 www.multicare.org/goodsam • Mary Bridge Childrens HC 311 S L St, Tacoma 253-403-1400 www.multicare.org • St. Clare Hospital 11315 Bridgeport Way SW, Lakewood 253-588-1711 www.fhshealth.org • St. Joseph Medical Center 1717 South J St, Tacoma 253-426-4101 www.fhshealth.org • Tacoma General Hospital 315 Martin Luther King Jr, Way 253-403-1000 www.multicare.org • Western States Hospital 9601 Steilacoom Blvd Sw, Lakewood 253-582-8900
golfwashington.com,
hole
• Allenmore Public GC 2125 South Cedar St, Tacoma 253-627-7211 • Auburn GC 29630 Green River Rd SE, Auburn 253-833-2350 www.auburngolf.org • Brookdale GC 1802 Brookdale Rd E, Tacoma 253-537-4400 www.brookdalegolf.com • Chambers Bay GC 6320 Grandview Dr W, University 253-460-4653 www.chambersbaygolf.com • Classic GC 4908 208th St E, Spanaway 253-847-4440 www.classicgolfclub.net • Fort Steilacoom GC 8200 87th Ave SW, Lakewood 253-588-0613 • High Cedars GC 14604 149th St Court E, Orting 360-893-3171 www.highcedars.com • Highlands GC 1400 N Highlands Pkwy, Tacoma 253-759-3622 www.highlandsgolf.net • The Home Course 2300 Hoffman Hill Blvd, Dupont 866-964-0520 www.thehomecourse.com • Lake Spanaway GC 15602 Pacific Ave S, Spanaway 253-531-3660 www.lakespanawaygc.com • Lipoma Firs GC 10410 187th St E, Puyallup 253-841-4396 • Madrona Links GC 3604 22nd Ave NW, Gig Harbor 253-851-5193 www.madronalinks.com • Meadow Park GC 7108 Lakewood Drive W, Tacoma 253-473-3033 www.tacomaparks.com • North Shore GC 4101 Northshore Blvd NE, Tacoma 253-927-1375 www.northshoregc.com • Tanwax Greens GC 36510 Mountain Hwy E, Eatonville 360-832-8400 18 hole PriVate CoUrSeS • Fircrest GC 1500 Regents Blvd, Tacoma 253-564-6756 www.fircrestgolf.com • Gig Harbor Golf & CC 6909 Artondale Dr NW, Gig Harbor 253-851-2378 www.gigharborgolfclub.com • Oakbrook Golf & CC 8102 Zircon Dr SW, Lakewood 253-584-8888 www.oakbrookgcc.com • Riviera Community Club 11019 Country Club Dr, Anderson Island 253-884-4993 www.rivieraclub.org • Tacoma Country & Golf Club 13204 Country Club Dr SW, Lakewood 253-588-2161 tacomacountryandgolfclub.com
raCinG (for
& Snohomish Counties) • Emerald Downs 253-288-7000 2300 Emerald Downs Dr, Auburn www.emeralddowns.com
information can be found at www.moving-tips.net or www.moving.org • AAA Moving & Storage Inc 800-238-3506 www.aaa-moving.com • All My Sons Moving & Storage 800-719-7452 www.allmysons.com • Allied Van Lines 800-823-0755 www.allied.com • Banwer Transfer 877-812-2218 www.banwertransfer.com • Bekins 800-723-5467 www.bekins.com • Budget Truck Rental 253-922-2276 www.budgettruck.com • Capitol Moving Storage 800-246-1760 www.capitolmovingandstorage.com • City Moving Systems Inc 800-426-7776 www.citymovingsystems.com • Expert Moving & Storage 253-588-3886 www.expert-moving.com • Family Movers 253-537-8480 www.thefamilymovers.com • Hansen Bros Moving & Storage 800-365-0303 www.hansenbros.com • Lincoln Moving & Storage Co 800-426-4780 www.lincmove.com • Mountain Moving & Storage 253-200-4967 www.mountainmoving.com • Neighbors Moving & Storage 253-272-8900 www.neighborsmoving.com • Packaging Store Moving Ctr 253-584-7464 www.packstore.com • PODS-Portable On Demand 866-229-4120 www.pods.com • Starving Students 800-254-0375 www.ssmovers.com • Uhaul 800-GO-UHAUL www.uhaul.com • University Moving & Storage 206-362-0508 www.universitymovingandstorage.com Page 3
horSe
King, Pierce
moVerS Additional

Community Services Pierce County

moVie theaterS

Additional information can be found at

amctheatres.com

mUSeUmS

ParkS and reCreational areaS

Additional webistes to help with information on parks: www.parks.wa.gov or www.discoverparks.org

• American Lake Steilacoom

• Bresemann Forest Spanaway

• Centennial Park Fife

• Clark’s Creek Park Puyallup

• Cushman Powerline Trail Gig Harbor

• Cutts Island State Park Cutts Island

• Dash Point State Park Federal Way

• Edgewater Park Lakewood

• Fort Steilacoom Park Lakewood

• Foothills Trail Meeker to Buckley

• Fountain Memorial Park Fife

• Frontier Park Graham

• Kopachuck State Park Gig Harbor

• Lake Tapps County Park Sumner

• Mayfair County Park Tacoma

• Mt. Rainier National Park Ashford

• Nathan Chapman Memorial Trail Puyallup

• Penrose Point State Park Fox Island

• Point Defiance Tacoma

• Rimrock Park Eastonville

• Seeley Lake Park Lakewood

• South Hill Loop Trail Puyallup

• Spanaway Park Spanaway

• Sprinker Recreation Center Tacoma

• Swan Creek County Park Tacoma

• Wright Park Tacoma

fandango.com, movietickets.com, edwardscinemas.com (Regal Cinemas) or
Auburn • Regal Auburn Stadium 17 1101 Super Mall Way, Auburn 253-735-8052 Bonney Lake • Regal Tall Firs 10 20751 State Rte 410 E, Bonney Lake 800-326-3264 Gig Harbor • Regal Gig Harbor Cinemas 5401 Olympic Dr NW, Gig Harbor 800-326-3264 • Galaxy Uptown Theatre 4649 Point Fosdick Dr NW, Gig Harbor 253-857-7469 Lakewood • Lakewood Cinema 15 2410 84th St S, Lakewood 253-983-5010 • Lakewood Towne Center 12 5721 Main St SW, Lakewood 253-581-5055 Puyallup • South Hill Mall 6 3500 S Meridian, Puyallup 800-3263264 • Regal Longston Place 13317 Meridian Street East, Puyallup 800-326-3264 Tacoma • AMC Narrows Plaza 8 2208 Mildred St W, Tacoma 253-565-7000 • Galaxy Tacoma 6 3102 S 23rd St, Tacoma 253-383-5995 • Grand Cinema 606 Fawcett Ave, Tacoma 253-593-4474 • Proctor Blue Mouse 2611 North Proctor St, Tacoma 253-752-9500
• Anderson Island Hist. Society Anderson Island www.andersonislandhs.com • Antiques & Aviation Museum 5928 Steilacoom Blvd SW, Lakewood 253-584-3930 • Job Carr Cabin Museum 2350 N 30th St, Tacoma 253-627-5405 www.jobcarrmuseum.org • Children’s Museum 936 Broadway, Tacoma 253-627-6031 childrensmuseumoftacoma.org • Dupont Historical Museum 207 Barksdale Ave, Dupont 253-964-2399 www.dupontmuseum.com • Fife History Museum 2820 54th Ave E, Fife 253-896-4710 • Fort Nisqually 5400 N Pearl Street, Tacoma 253-591-5339 • Fox Island Historical Museum 1017 9th Ave, Fox Island 253-549-2600 www.foxisland.net • Harbor History Museum 4218 Harborview Dr, Gig Harbor 253-858-6722 www.harborhistorymuseum.org • Harold Lemay Museum 325 152nd St E, Tacoma 253-536-2885 www.lemaymuseum.org • Karshner Memorial Museum 309 4th St NE, Puyallup 253-841-8748 www.karshnermuseum.org • Meeker Mansion 321 Pioneer, Puyallup www.meekermansion.org • Museum of Glass 1801 Dock Street, Tacoma 253-272-4258 www.museumofglass.org • Pioneer Farm Museum 7716 Ohop Vly Rd E, Eatonville 360-832-6300 pioneerfarmmuseum.org • Steilacoom Historical Museum 1801 Rainier St, Steilacoom 253-584-4133 • Steilacoom Tribal Museum 1515 Lafayette St, Steilacoom 253-584-6308 • Sumner Ryan House Museum 1228 Main St, Sumner 253-299-5780 • Tacoma Art Museum 1701 Pacific Ave, Tacoma 253-272-4258 tacomaartmuseum.com • Tacoma Historical Society 3712 S Cedar Street Ste 101, Tacoma 253-472-3738 www.tacomahistory.org • Washington State Hist Society 1911 Pacific Ave, Tacoma 888-238-4373 washingtonhistory.org • White River Valley Museum 918 H Street SE, Auburn 253-288-7433 www.wrvmuseum.org Page 4

Community Services Pierce County

PUb/brewerieS

SChool diStriCtS

• Baron Brewing Co 1605 S 93rd St Bldg E, Seattle 206-764-1213 www.baronbeer.com • Big Time Brewery 4133 University Way NE, Seattle 206-545-4509 www.bigtimebrewery.com • Dad Watson’s 3601 Fremont Ave N, Seattle 206-632-6505 www.mcmenamins.com • Diamond Know Brewery 621 Front St Mukilteo 425-355-4488 www.diamondknot.com • Elk Head Brewing 28120 Highway 410, Buckley 360-829-BREW • Elliot Bay Brew & Pub 4720 California Ave SW, Seattle 206-932-8695 www.elliottbaybrewing.com • Elysian Brewing Co 1221 E Pike St, Seattle 206-382-3539 www.elysianbrewing.com • Engine House #9 611 North Pine, Tacoma 253-272-3435 www.ehouse9.com • Flying Pig Brewery 2929 Colby, Everett 425-339-1393 flyingpigrestaurants.com • Georgetown Brewing Co 5840 Airport Way S, Seattle 206-766-8055 www.georgetownbeer.com • Gordon Biersch Brewing 600 Pine St, Seattle 423-424-2000 www.gordonbiersch.com • Hale’s Ales 4301 Leary Way NW, Seattle 206-782-0737 www.halesales.com • Harmon Brewery 1938 Pacific Ave, Tacoma 206-782-0737 www.harmonbrewing.com • Mac & Jack’s Brewery Inc. 17825 NE 65th St, Redmond 425-558-9697 www.macandjacks.com • Maritime Pacific Brewing Co 1514 NW Leary Way, Seattle 206-782-6181 www.maritimebrewery.com • Pacific Rim Brewing Co 9832 14th Ave SW, Seattle 206-764-3844 www.pacificrimbrewing.com • Pike Brewing Co 1415 First Ave, Seattle 206-622-3373 www.pikebrewing.com • Pyramid Breweries 91 S Royal Brougham Wy, Seattle 206-682-8322 www.pyramidbrew.com • Redhook Ale Brewery 14300 NE 145th St, Woodinville 425-483-3232 www.redhook.com • Rock Bottom Brewing Co 550 106th Ave NE, Bellevue 425-462-9300 www.rockbottom.com • Snoqualmie Falls Brewing Co 8032 Falls Ave SE, Snoqualmie 425-831-2337 www.fallsbrew.com • Scuttlebutt Brewing Co 1524 W Marine View Dr Everett 425-257-9316 www.scuttlebuttbrewing.com Page 5
• Freighthouse Square 2501 East D Street Tacoma 253-305-0678 www.freighthousesquare.com • Highland Hills Shopping Ctr 5915 6th Avenue Tacoma 253-564-1630 • Lakewood Mall 10509 Gravelly Lake Dr SW, Lakewood 253-984-6100 • Lakewood Towne Center 5731 Main Street SW Lakewood 877-646-5263 shoplakewoodtownecenter.com • South Hill Mall 3500 South Meridian Puyallup 253-840-2828 www.southhillmall.com • Super Mall 1101 Supermall Way, Auburn 253-804-4624 www.supermall.com • Tacoma Mall 4502 South Steele St Tacoma 253-475-4565 www.simon.com
ShoPPinG
www.access.wa.gov/education • Auburn SD #408 253-931-4914 www.auburn.webnet.edu • Bethel SD #403 253-683-6000 www.bethelsd.org • Carbonado SD #19 360-829-0121 www.carbonado.k12.wa.us • Clover Park SD #400 253-583-5000 www.cpsd.cloverpark.k12.wa.us • Dieringer SD #343 253-862-2537 www.dieringer.wednet.edu • Eatonville SD #404 360-879-1000 www.cruiser.eatonville.wednet.edu • Fife SD #417 253-517-1000 www.fifeschools.com • Franklin Pierce SD #402 253-298-3000 www.fp.k12.wa.us • Orting SD #344 360-893-6500 www.orting.wednet.edu • Peninsula SD #401 253-530-1000 www.www.peninsula.wednet.edu • Puyallup SD #3 253-841-1301 www.puyallup.k12.wa.us • Steilacoom Historical SD #1 253-983-2200 www.steilacoom.k12.wa.us • Sumner SD ##320 253-891-6000 www.sumner.wednet.edu • Tacoma SD #10 253-571-1000 www.tacoma.k12.wa.us • University Place SD #83 253-566-5600 www.upsd.wednet.edu • White River SD #416 360-829-0600 www.whiteriver.wednet.edu

Community Services Pierce County

Ski areaS

Additional websites to help with information on ski areas, weather and resorts: ski-guide.com, pnsa.org

SPortS teamS (Semi-Pro and ProfeSSional)

toUrS & area attraCtionS (for King, Pierce & Snohomish Counties)

Additional information can be found at www.traveltacoma.com

Glassblowing Studio 114 S 23rd, Tacoma

• Everett AquaSox 3900 Broadway, Everett 425-258-3673 www.aquasox.com • Everett Silvertips Everett Events Center - 2000 Hewitt Ave 425-252-5100 everettsilvertips.com • Seattle Mariners Safeco Field - First Ave S & Edgar Martinez Dr 206-628-0888 www.mariners.mlb.com • Seattle SeaHawks Qwest Field - 800 Occidental Ave S 206-628-0888 www.seahawks.com • Seattle Storm Key Arena - 305 Harrison St 206-217-9622 www.wnbs.com/storm • Seattle Sounders Qwest Field - 800 Occidental Ave S 800-796-5425 seattlesounders.net • Seattle Thunderbirds Kent Events Center - 220 Fourth Ave S 206-448-PUCK seattle-thunderbirds.com • Tacoma Rainiers Baseball 2502 S Tyler St, Tacoma 800-281-3834 tacoma.rainiers.milb.com Page 6 Gardens, Zoos and Aquariums • Botanical Conservatory 316 South G St, Tacoma 253-591-5330 metroparkstacoma.org/page.php?id=21 • The Chase Garden 16015 264th St E, Orting 206-242-4040 www.chasegarden.org • Lakewold Gardens 12317 Gravelly Lk Dr SW, Lakewood 253-584-4106 www.lakewoldgardens.org • Northwest Trek 11610 Trek Dr E, Eatonville 360-832-6117 www.nwtrek.org • The Outback Kangaroo Farm 10030 State Route 530 NE, Arlington 360-403-7474 www.christmastreesandroos.com • Pt Defiance Zoo & Aquarium 5400 N Pearl St, Tacoma 253-591-5337 www.pdza.org • Rhododendron Garden 2525 S 336th St, Federal Way 253-927-6960 www.rhodygarden.org • Seattle Aquarium 1483 Alaskan Way, Seattle 206-386-4300 www.seattleaquarium.org • Windmill Gardens 5816 162nd Ave E, Sumner 800-628-6516 www.windmillgarden.com • Woodland Park Zoo 5500 Phinney Ave N, Seattle 206-684-4800 www.zoo.org Cruises/Tours • Argosy Cruise 1101 Alaskan Way, Seattle 206-623-1445 www.argosycruises.com • Ballard Locks 3015 NW 54th St, Seattle 206-905-2620 seattle.gov/tour/locks.htm • Boeing Tour 8415 Paine Field Blvd, Mukilteo 206-768-1234 seattlecitytours.com/boeing.html • Catalyst Cruises LLC PO Box 45014, Tacoma, WA 98445 800-670-7678 www.cruise-nw.com • Kenmore Air Tours Lk Union, 950 Westlake Ave N, Seattle 425-486-1257 www.kenmoreair.com • Mt. Rainier Scenic Railroad 349Mineral Creek Rd, Mineral 360-492-5588 www.mrsr.com • Northwest Stream Center 600 - 128th Street SE, Everett 425-316-8592 www.streamkeeper.org • Ride the Ducks 516 Broad St, Seattle 206-441-3825 ridetheducksofseattle.com • Tillicum Village Pier 55, Seattle to Blake Island 206-933-8600 www.tillicumvillage.com • Victoria Clippers 2701 Alaskan Way, Pier 69, Seattle 206-448-5000 www.victoriaclipper.com Attractions • Chihuly Bridge of Glass 1801 Dock Street, Tacoma www.chihuly.com/bridgeofglass
Gameworks 1511 7th Ave, Seattle 206-521-0952 gameworks.comlocations/seattle.php
Laser Quest Federal Way 2210 S 320th St, Unit A-4, Federal Way 253-946-4500 www.laserquest.com
Oddssey 1 Family Fun 2310 W Mildred,#110, Tacoma 253-566-3233 www.odyssey-1.com
Space Needle 400 Broad St, Seattle 206-905-2100 www.spaceneedle.com
Tacoma
253-383-3499
www.tacomaglassblowing.com
253-863-5173
Union Station 1717 Pacific Ave, Tacoma
www.unionstationrotunda.org
206-521-0952 www.wildwaves.com
Wild Waves & Enchanted Village 36201 Enchanted Pkwy S, Federal Way
and skiwashington.com.
Crystal Mountain Ski Area 33914 Crystal Mtn Blvd Crystal Mtn 360-663-2265 www.crystalmt.com
Ridge Ski Area 7500 Mission Ridge Rd Wenatchee 509-663-6543 www.missionridge.com
• Mission
Stevens Pass Ski Area Summit, US Hwy 2, Skykomish 206-634-1645 www.stevenspass.com
Mt Baker Ski Area 1019 Iowa St, Bellingham 206-734-6771 www.mtbakerskiarea.com
The Summit 1001 State Route 906, Snoqualmie Pass 425-454-7669 summit-at-snoqualmie.com
White Pass Ski Area US Highway 12, White Pass 509-453-8731 www.skiwhitepass.com

Community Services Pierce County

traVel/tranSPortation

For additional airline information, see www.portseattle.org/seatac/flights/

VehiCle emiSSion teStinG

For more information, go to www.ecy.wa.gov/programs/air/cars/automotive_pages.htm. The state requires an auto inspection for out-of-state vehicles. This is done by the Washington State Patrol for a fee. Vehicle emission tests are also required, depending on the county. There is a fee for emission testing. Call your Washington State Patrol for a fee.

Page 7
ationS
PierCe CoUnty loC
FifeStation
4912 Pacific Highway E Fife 253-926-3277
10
LakewoodStation 12 3003 107th ST S Lakewood 253-581-5243
Puyallup Station
122nd ST E Puyallup 253-848-6399
11 10320
Airline Information
Aeromexico 800-237-6639 www.aeromexico.com/en_us
Air Canada 800-247-2262 www.aircanada.ca
Air France 800-237-2747 www.airfrance.us • AirTran Airways 800-247-8726 www.airtran.com • Alaska Airlines 800-426-0333 www.alaskaair.com • American Airlines 800-433-7300 www.aa.com
Asiana Airlines 800-227-4262 www.asiana.co.jp • British Airways 800-247-9297 www.britishairways.com • Continental Airlines 800-525-0280 www.continental.com • Delta Airlines 800-221-1212 www.delta.com • EVA Air 800-695-1188 www.evaair.com • Frontier Airlines 800-432-1359 www.frontierairlines.com • Hainan Airlines 888-688-8813 http://global.hnair.com • Hawaiian Airlines 800-367-5320 www.hawaiianair.com • Horizon Air 800-547-9308 www.alaskaair.com • Icelandair 800-223-5500 www.icelandair.com • JetBlue Airways 800-JETBLUE www.jetblue.com • Korean Air 800-438-5000 www.koreanair.com • Lufthansa Airlines 800-399-LUFT www.lufthansa.com • Midwest Airlines 800-452-2022 www.midwestairlines.com • Southwest Airlines 800-435-9792 www.southwest.com • Sun Country 800-359-6786 www.suncountry.com • United Airlines (including United Express) 800-241-6522 www.united.com • US Airways 800-428-4322 www.usairways.com • Virgin America 877-359-8474 www.virginamerica.com Airline Shuttle Information • Shuttle Express 425-981-7000 www.shuttleexpress.com • Airporter Shuttle 360-380-8800 www.airporter.com • Black Hills Transportation 360-786-0636 • Bremerton/Kitsap Airporter 360-876-1737 www.kitsapairporter.com • Greyline Airporter 206-626-6088 www.graylineseattle.com/airportexpress1.cfm • Olympic Bus Lines 360-417-0700 www.olympicbuslines.com • Whidbey-SeaTac Shuttle 360-679-4003 www.seatacshuttle.com Taxi Information • Cabs and Limos www.portseattle.org/seatac/ground/taxi.shtml Transit Information • Amtrak Trains 800-872-7245 www.amtrak.com • Community Transit 425-353-RIDE www.commtrans.org • DART 425-347-5912 www.dialaride.org • Everett Transit (Snohomish County) 425-257-7777 www.everettwa.org • Greyhound Bus Lines 800-231-2222 www.greyhound.com • Metro Transit (King County) 800-553-3000 www.transit.metrokc.gov • Northwestern Trailways 800-366-3830 www.trailways.com • Pierce Transit (Pierce County) 800-201-4900 www.piercetransit.org • Sound Transit 800-201-4900 www.soundtransit.org • Washington State Ferries 888-808-7977 www.wsdot.wa.gov/ferries

Community Services Pierce County

VehiCle reGiStration & liCenSinG

For more information, go to www.dol.wa.gov

New residents are required to obtain a valid Washington driver’s license within 30 days of taking residence. Applicants must show proof of age and identity and pass the required examinations.

Those who do not have a valid driver’s license in their possession must have proof of license eligibility from the state in which the license was held. There is a fee. Call your local agency for quotes.

License plates can be obtained by providing an emissions test report; previous registration, license plates and title; and a Washington State Patrol inspection slip. If you are from out-of-state, you have 60 days to obtain vehicle license plates.

Auburn License Agency 124 Auburn Way N Auburn

• Thompson Vehicle License 320 Center E Ste B Eatonville

• McCallum License Agency 16126 Meridian E #107 Puyallup

• Parkland Auto Licensing 215 S Garfield St Tacoma

• Puyallup Auditor 1325 E Main Puyallup

• Quick Stop Licensing 6722 19th St W University Place

• Tacoma South 6402 S Yakima Ave Ste C Tacoma

• Tacoma West 8313 27th St W University Place

• University Place Auditor 6722 19th St W University Place

• Valley Vehicle Licensing 27331 172nd Ave SE Ste 116 Covington

Voter reGiStration

For more information, go to www.secstate.wa.gov/elections/register.aspx.

253-833-9696

360-832-8366

253-841-0245

253-537-3112

253-845-8811

253- 564-6555

253-593-2990

You must complete a voter registration form if you are voting for the first time in Washington or if you have moved to a new county. If you have moved within the same county, you may transfer your registration by completing a new form or contacting your County Auditor by mail, email or phone.

You must be a citizen of the United States, a legal resident of Washington State and at least 18 years old by election day to register to vote in this state.

You may not register to vote if you are presently denied your civil rights due to a felony conviction or judicially declared mentally incompetent and ineligible to vote. You may not register in more than one county or state.

If you register by mail and do not have a Washington State driver’s license, Washington State ID card, or a Social Security number, you will be required to provide one of the following items when you cast your ballot: valid photo ID, valid tribal ID of a federally recognized Indian tribe in Washington State, copy of a current utility bill, current bank statement, copy of a current government check, copy of a current paycheck, a government document that shows both your name and address. If you do not provide one of the above items either before or at the time of voting, your ballot will be treated as a provisional ballot.

winerieS (for Western Washington)

Bainbridge Island Vineyards 8989 Day Rd E, Bainbridge Island 206-842-9463 bainbridgevineyards.com • Betz Family Winery 18512 142nd Ave NE Woodinville 425-861-9823 www.betzfamilywinery.com • Cadence Winery 432 Yale Ave N, Seattle 206-381-9507 www.cadencewinery.com • Cavatappi Winery 9702 120th Place, Kirkland 425-823-6533 www.cavatappi.com • Chatter Creek Winery 620 NE 55th St, Seattle 206-985-2816 www.chattercreek.com • Chateau Ste. Michelle 14111 NE 145th, Woodinville 425-488-1133 chateau-ste-michelle.com • Columbia Winery 14030 NE 145th, Woodinville 425-488-2776 www.columbiawinery.com • Chuckanut Ridge Winery 1017 N State St, Bellingham 360-734-3537 www.chuckanutridge.net • Covey Run Winery 14030 NE 145th St, Woodinville 888-659-7900 www.coveyrun.com • EB Foote Winery 127B SW 153rd St, Burien 206-242-3852 www.ebfootewinery.com • Facelli Winery 16120 Woodinville-Redmond Rd, Woodinville 425-488-1020 www.facelliwinery.com • Frye Winery 15011 Meridian E, Ste B, Puyallup 425-488-1020 www.facelliwinery.com • Isabella Grace Winery 28611 SE 204th St, Hobart 425-941-6364 isabellagracewinery.com • Lopez Island Vineyard & Winery 724 Fisherman Bay Rd, Lopez Island 360-468-3644 lopezislandvineyards.com • Mark Ryan Winery 19495 - 144th Ave NE, Woodinville 206-295-6796 www.markryanwinery.com • Novelty Hill Winery 19730 - 144th Ave NE, Woodinville 425-481-8317 www.noveltyhillwines.com • Stina’s Cellars 2211 70th Ave W, University Place 253-227-9748 www.stinascellars.com • Silver Lake Winery 15029 Woodinville-Redmond Rd, Woodinville 425-485-2437 www.silverlakewinery.com • Vino Aquino 2607 6th Ave, Tacoma 253-272-5511 www.vinoaquino.com • Washington Hills Cellars (Apex) 10604 NE 38th Place, Kirkland 425-889-9463 www.washingtonhills.com • Whidbey Isl. Vineyard & Winery 5237 S Langley Rd, Langley 360-221-2040 whidbyislandwinery.com Page 8
loC al aGenCieS •
253-534-3218
253-564-6555
253-630-7090

teLePhone

Utility Locator Pierce County

heating / eLeCtriCity/natUraL gas

C abLe & teLevision oPtions

• Bowman Payless Oil 206-772-4447 • Eatonville P & L 360-832-3244 • Elmhurst Mutual P & L 253-531-4646 www.elmhurstmutual.org • Lakeview L & P 253-584-6060 www.lakeviewlight.com • Prorgas 253-839-5062 • Parkland L & Water 253-531-5666 www.plw.coop • Pennisula Light Company 253-857-1510 www.penlight.org • Puget Sound Energy 888-321-7779 www.pse.com • Tacoma Power Energy 253-502-8600 www.ci.tacoma.wa.us/power/
• Qwest 800-475-7526 www.qwest.com • AT&T 800-222-0300 www.consumer.att.com • Comcast 888-226-2278 www.comcast.com • CenturyTel 800-831-1733 www.centurytel.com • Verizon 800-483-3000 www.verizon.com
• Comcast 888-266-2278 www.comcast.com • Direct TV 888-777-2454 www.directv.com • Dish Network 888-825-2557 www.dishnetwork.com • Day Wireless Systems 800-503-3433 206-878-1926 www.daywireless.com garbage • Auburn 206-682-9735 253-872-3916 www.rabanco.com 253-931-3038 www.ci.auburn.wa.us 800-592-9995 www.wmnorthwest.com • Bonney Lake 253-414-0347 www.murreysdisposal.com • Buckley 360-829-1921 www.buckleychamber.org • DuPont 253-537-8687 www.co.pierce.wa.us • Eatonville 360-832-3361 www.eatonvillechamber.com • Edgewood 253-414-0345 www.ci.edgewood.wa.us • Enumclaw 360-825-5541 www.ci.enumclaw.wa.us • Fife 253-414-0345 www.wcnx.org • Fircrest 253-588-1705 www.uprefuse.com • Gig Harbor 253-414-0345 www.wcnx.org • Lakewood 253-588-1705 www.lakewood-wa.com • Milton 253-414-0345 www.wcnx.org • Orting 253-414-0345 www.wcnx.org • Puyallup 253-414-0345 www.wcnx.org 253-537-8687 www.lemayinc.com • Roy 253-537-8687 www.lemayinc.com • Ruston 253-759-3544 • South Hill 253-845-6955 www.lemayinc.com • Steilacoom 253-537-8687 www.lemayinc.com • Sumner 253-414-0345 www.wcnx.org • Tacoma 253-591-5543 www.solidwaste@cityoftacoma.org 253-588-1705 www.lemayinc.com 253-591-5543 • University Place 253-564-3212 www.uprefuse.com Phone FaX website

Utility Locator Pierce County

water & sewer

• Auburn 253-931-3038 253-876-1900 www.ci.auburn.wa.us • Bonney Lake 253-862-8602 253-862-8538 www.cityofbonneylake.org Valley Water 253-841-9698 253-841-9698 www.valleywaterdistrict.com • Buckley 360-829-1921 www.buckleychamber.org Valley Water 253-841-9698 253-841-9698 www.valleywaterdistrict.com • DuPont Pierce County Sewer 253-798-4020 253-964-3554 www.co.pierce.wa.us • Eatonville Spanaway Water Co. 253-531-9024 253-539-9526 www.spanaway-water.org • Edgewood Mt. View Water Co. 253-863-7348 www.ci.edgewood.wa.us • Enumclaw • Fife 253-922-2489 www.cityoffife.org • Gig Harbor 253-857-5950 www.cityofgigharbor.net Washington Water 253-851-4060 253-857-4001 www.wawater.com Rainier View Water 253-537-6634 253-537-7896 www.rainierviewwater.com Stroh’s Water 253-858-2051 253-858-6109 Peninsula Light/Water 253-857-5950 253-857-1558 www.penlight.org • Lakewood Lakewood Water Dist 253-588-4423 253-588-7150 www.lakewood-water-dist.org • Milton 253-922-3738 www.ci.milton.wa.us • Orting 360-893-2219 360-893-6809 Rainier View Water 253-537-6634 253-537-7896 www.rainierviewwater.com Valley Water 253-841-9698 253-841-9698 www.valleywaterdistrict.com • Puyallup Rainier View Water 253-537-6634 253-537-7896 www.rainierviewwater.com Valley Water 253-841-9698 253-841-9698 www.valleywaterdistrict.com Firgrove Mutual Water 253-845-1542 253-845-4728 www.firgrove.org Summit Water Co. 253-537-7781 253-536-1759 • Roy Rainier View Water 253-537-6634 253-537-7896 www.rainierviewwater.com • Ruston 253-502-8247 www.ci.tacoma.wa.us • South Hill Valley Water 253-841-9698 253-841-9698 www.valleywaterdistrict.com Firgrove Mutual Water 253-845-1542 253-845-4728 www.firgrove.org Summit Water Co. 253-537-7781 253-536-1759 • Steilacoom Lakewood Water Dist 253-588-4423 253-588-7150 www.lakewood-water-dist.org • Sumner Valley Water 253-841-9698 253-841-9698 www.valleywaterdistrict.com • Tacoma 253-502-8247 www.ci.tacoma.wa.us Parkland Light & Water 253-531-5666 253-531-2684 www.plw.coop Pierce Co. Public Works 253-798-7250 www.co.pierce.wa.us Spanaway Water Co. 253-531-9024 www.spanaway-water.org Summit Water Co. 253-537-7781 253-536-1759 • University Place Tacoma Water 253-502-8247 www.ci.tacoma.wa.us
Phone FaX website

SCHOOL INFORMATION

Page 13
Subject Property Location Report Date: 06/27/2023 Property Address 31514 73RD AVE E Order ID: R119339227 City, State & Zip EATONVILLE, WA 98328-9642 County PIERCE COUNTY Property Use Single Family Residential Mailing Address 31514 73RD AVE E, EATONVILLE, WA 98328-9642 Parcel Number 0417083008 Public School Summary School Name Grades Distance from Subject Property WEYERHAEUSER ELEMENTARY Grade KG - Grade 5 3.14 miles ROCKY RIDGE ELEMENTARY Prekindergarten - Grade 8 3.45 miles COUGAR MOUNTAIN JUNIOR HIGH SCHOOL Grade 7 - Grade 9 3.53 miles BETHEL HIGH SCHOOL Grade 10 - Grade 12 6.28 miles WEYERHAEUSER ELEMENTARY Address 6105 365TH ST EAST Kindergarten 47 EATONVILLE, WA 98328-9512 Grade 1 54 Phone Number 360-879-1650 Grade 2 55 Distance from Subject Property 3.14 miles Grade 3 55 Grades Grade KG - Grade 5 Grade 4 74 Student Teacher Ratio 1:15.7 Grade 5 2 Full Time Equivalent Administrators 18.28 Total 287 API Score N/A ROCKY RIDGE ELEMENTARY Address 6514 260TH ST EAST Prekindergarten N/A GRAHAM, WA 98338-9648 Kindergarten 76 Phone Number 253-683-5000 Grade 1 86 Distance from Subject Property 3.45 miles Grade 2 74 Grades Prekindergarten - Grade 8 Grade 3 84 Student Teacher Ratio 1:20.3 Grade 4 98 Full Time Equivalent Administrators 30.13 Grade 5 89 API Score N/A Grade 6 100 Grade 8 1 Total 608 COUGAR MOUNTAIN JUNIOR HIGH SCHOOL Address 5108 260TH ST EAST Grade 7 209 GRAHAM, WA 98338 Grade 8 251 Phone Number 253-683-8000 Grade 9 235 Distance from Subject Property 3.53 miles Total 695 Grades Grade 7 - Grade 9 Student Teacher Ratio 1:18.2 Full Time Equivalent Administrators 38.15 API Score N/A BETHEL HIGH SCHOOL Address 22215 38TH AVE EAST Grade 10 429 SPANAWAY, WA 98387-6828 Grade 11 377 Phone Number 253-683-7000 Grade 12 385 Distance from Subject Property 6.28 miles Total 1191 Grades Grade 10 - Grade 12 Student Teacher Ratio 1:23.6 Full Time Equivalent Administrators 50.55 API Score N/A
Public Schools Report

SCHOOL DISTRICTS

About Public Schools

The Public School Report lists schools closest to the subject property. For a complete listing of schools in your area, please go to http://www.nces.ed.gov /globallocator. API Index

The Academic Performance Index (API) measures academic performance and growth of schools, which includes results of the Stanford 9. The API reports a numeric scale that ranges from 200 to 1000. A school's score or position on the API indicates the level of a school's preformance.

Page 14
BETHEL SCHOOL DISTRICT Address 516 176TH ST E Pupil Teacher Ratio 21.2:1 No of Teacher Aids 145.7 SPANAWAY, WA 98387-8399 Total Enrollment 17,651 No of Guidance Counselors 27.6 Phone Number 253-683-6000 No of High School Graduates 986 No of School Administrators 40.0 Grades PK- 12 Number of Teachers 833.6 Number of Schools 37
Address PO BOX 698 Pupil Teacher Ratio 17.9:1 No of Teacher Aids 17.7 EATONVILLE, WA 98328-0698 Total Enrollment 1,918 No of Guidance Counselors 4.0 Phone Number 360-879-1000 No of High School Graduates 125 No of School Administrators 6.3 Grades PK- 12 Number of Teachers 107.2 Number of Schools 6
EATONVILLE SCHOOL DISTRICT
Page 15
Subject Property Location Report Date: 06/27/2023 Property Address 31514 73RD AVE E Order ID: R119339228 City, State & Zip EATONVILLE, WA 98328-9642 County PIERCE COUNTY Property Use Single Family Residential Mailing Address 31514 73RD AVE E, EATONVILLE, WA 98328-9642 Parcel Number 0417083008 Private School Summary School Name Grades Distance from Subject Property CASCADE CHRISTIAN SCHOOL-SPANAWAY ELEMENTARY Prekindergarten - Grade 6 9.02 miles BETHEL BAPTIST CHRISTIAN SCHOOL Grade N/A - Grade N/A 9.70 miles LA PETITE ACADEMY GEM HEIGHTS DR Kindergarten - Kindergarten 9.83 miles EVERGREEN MONTESSORI ACADEMY Prekindergarten - Kindergarten 11.03 miles IMAGINATION MONTESSORI ACADEMY Prekindergarten - Grade 8 11.13 miles ST MARY'S ACADEMY Kindergarten - Grade 8 12.21 miles CASCADE CHRISTIAN SCHOOL-SPANAWAY ELEMENTARY Address 3425 176TH STREET E Prekindergarten 126 TACOMA, WA 98446-1209 Kindergarten 51 Phone Number 253-537-9339 Grade 1 34 Distance from Subject Property 9.02 miles Grade 2 35 Gender Coed Grade 3 39 Grades Prekindergarten - Grade 6 Grade 4 31 Affiliation Christian (no specific denomination) Grade 5 27 Student Teacher Ratio 1:16.8 Grade 6 26 Full Time Equivalent Administrators 14.5 Total 369 BETHEL BAPTIST CHRISTIAN SCHOOL Address 524 176TH STREET E Total 160 SPANAWAY, WA 98387-8335 Phone Number 253-537-1749 Distance from Subject Property 9.70 miles Gender Coed Grades Grade N/A - Grade N/A Affiliation Baptist Student Teacher Ratio N/A Full Time Equivalent Administrators 16 LA PETITE ACADEMY GEM HEIGHTS DR Address 16028 GEM HEIGHTS DRIVE E Kindergarten 9 PUYALLUP, WA 98375-2061 Total 9 Phone Number 253-848-4185 Distance from Subject Property 9.83 miles Gender Coed Grades Kindergarten - Kindergarten Affiliation Nonsectarian Student Teacher Ratio 1:9.0 Full Time Equivalent Administrators 1
Private Schools Report

EVERGREEN MONTESSORI ACADEMY

ACADEMY

About

Private Schools

As private schools are not subject to district boundaries, we list up to 15 of the schools closest to the subject property within a five mile radius of the subject property.

Disclaimer

THIS REPORT IS INTENDED FOR USE BY YOU AS AN END USER SOLELY FOR YOUR INTERNAL BUSINESS PURPOSES. YOU SHALL NOT RESELL, RELICENSE OR REDISTRIBUTE THIS REPORT, IN WHOLE OR IN PART. THE USE OF THIS REPORT BY ANY PARTY OTHER THAN YOURSELF FOR ANY PURPOSE IS STRICTLY PROHIBITED. THIS REPORT IS PROVIDED AS-IS WITHOUT WARRANTY OF ANY KIND, EITHER EXPRESS OR IMPLIED, INCLUDING WITHOUT LIMITATION, ANY WARRANTIES OF MERCHANTABILITY, NON-INFRINGEMENT, OR FITNESS FOR A PARTICULAR PURPOSE. BLACK KNIGHT SHALL HAVE NO LIABILITY IN CONTRACT, TORT, OR OTHERWISE ARISING OUT OF OR IN CONNECTION WITH THIS REPORT. BLACK KNIGHT DOES NOT REPRESENT OR WARRANT THAT THE REPORT IS COMPLETE OR FREE FROM ERROR. YOU UNDERSTAND AND ACKNOWLEDGE THAT THE AVAILABILITY, COMPLETENESS AND FORMAT OF THE DATA ELEMENTS MAY VARY SUBSTANTIANLLY FROM AREA-TO-AREA. THE INFORMATION CONTAINED IN THIS REPORT IS DERIVED FROM PUBLICLY AVAILABLE SOURCES FOR THE SUBJECT PROPERTY OR COMPARABLE PROPERTIES LISTED ABOVE AND HAS NOT BEEN INDEPENDENT VERIFIED BY BLACK KNIGHT THROUGH ANY FORM OF INSPECTION OR REVIEW. THIS REPORT DOES NOT CONSTITUTE AN APPRAISAL OF ANY KIND AND SHOULD NOT BE USED IN LIEU OF AN INSPECTION OF A SUBJECT PROPERTY BY A LICENSED OR CERTIFIED APPRAISER. THIS REPORT CONTAINS NO REPRESENTATIONS, OPINIONS OR WARRANTIES REGARDING THE SUBJECT PROPERTY'S ACTUAL MARKETABILITY, CONDITION (STRUCTURAL OR OTHERWISE), ENVIRONMENTAL, HAZARD OR FLOOD ZONE STATUS, AND ANY REFERENCE TO ENVIRONMENTAL, HAZARD OR FLOOD ZONE STATUS IS FOR INFORMATIONAL PURPOSES ONLY AND SHALL BE INDEPENDENTLY VERIFIED BY THE END USER. THE INFORMATION CONTAINED HEREIN SHALL NOT BE UTILIZED: (A) TO REVIEW OR ESTABLISH A CONSUMER'S CREDIT AND/OR INSURANCE ELIGIBILITY OR FOR ANY OTHER PURPOSE THAT WOULD CAUSE THE REPORT TO CONSTITUTE A "CONSUMER REPORT" UNDER THE FAIR CREDIT REPORTING ACT, 15 U.S.C. § 1681 ET SEQ.; OR (B) IN CONNECTION WITH CERTIFICATION OR AUTHENTICATION OF REAL ESTATE OWNERSHIP AND/OR REAL ESTATE TRANSACTIONS. ADDITIONAL TERMS AND CONDITIONS SHALL APPLY PURSUANT TO THE APPLICABLE AGREEMENT.

Copyright

CONFIDENTIAL, PROPRIETARY AND/OR TRADE SECRET. TM SM ® TRADEMARK(S) OF BLACK KNIGHT IP HOLDING COMPANY, LLC, OR AN AFFILIATE. © 2023 BLACK KNIGHT TECHNOLOGIES, LLC. ALL RIGHTS RESERVED.

Page 16
Address 14414 107TH AVENUE CT E Prekindergarten 29 PUYALLUP, WA 98374-3831 Kindergarten 6 Phone Number 253-841-8410 Total 35 Distance from Subject Property 11.03 miles Gender Coed Grades Prekindergarten - Kindergarten Affiliation Nonsectarian Student Teacher Ratio 1:3.8 Full Time Equivalent Administrators 1.6 IMAGINATION MONTESSORI ACADEMY Address 14917 9TH AVENUE CT E Prekindergarten 10 TACOMA, WA 98445-2586 Kindergarten 1 Phone Number 253-535-2522 Grade 3 1 Distance from Subject Property 11.13 miles Grade 4 1 Gender Coed Grade 5 1 Grades Prekindergarten - Grade 8 Grade 8 3 Affiliation Nonsectarian Total 17 Student Teacher Ratio 1:2.3 Full Time Equivalent Administrators 3
MARY'S
Address 757 138TH STREET S Kindergarten 6 TACOMA, WA 98444-3468 Grade 1 4 Phone Number 253-537-6281 Grade 2 7 Distance from Subject Property 12.21 miles Grade 3 1 Gender Coed Grade 4 4 Grades Kindergarten - Grade 8 Grade 5 6 Affiliation Roman Catholic Grade 6 6 Student Teacher Ratio 1:8.8 Grade 7 5 Full Time Equivalent Administrators 4.9 Grade 8 4 Total 43
ST

TITLE & ESCROW

SUCCESSFUL CLOSING

TIPS FOR A SMOOTHER ESCROW TRANSACTION

Closing on a home can be an exciting and stressful process all at the same time. With so many potential speed bumps it’s important we make your closing flow as smooth as possible. At Ticor we believe one of the easiest ways to accomplish this is by educating buyers and sellers as they prepare for the big day. In particular we’d like to highlight some of the simple steps a buyer/seller can take to expedite the process. We call these steps the “Keys to a Successful Closing”.

PRIOR TO CLOSING BUYERS

Verify with your loan officer that all conditions have been met. Notify your escrow officer the names of your lender and homeowner insurance companies.

ACTION

SELLERS

Gather the following and deliver to your Escrow Officer: Your forwarding address. Any existing mortgage information. Identify leased equipment. Homeowner Association information.

Utilities (if they are to be paid out of escrow.)

BEFORE YOUR SIGNING APPOINTMENT

BUYERS AND SELLERS

Confirm with your agent that all contingencies have been satisfied. Keep your agent informed of any vacation plans or times you will be unavailable.

If you plan to have your documents reviewed by an attorney, please notify your escrow officer at least 48 hours prior to signing.

Expect to sign at the escrow company one or two business days before the closing date. Expect the signing to last approximately one hour if you are the buyer and 30 minutes if you are the seller Have a valid photo ID available at your signing appointment: Driver’s License, State ID, Passport, or Green Card. If funds are required to close, be prepared to bring the monies in the form of a cashier’s check 24 hours before recording or wire transfer the same day as closing.

TITLE OFFICE PH: 425.255.7472 FX: 877.521.9938 WEBSITES www.myticor.com www.ticorblog.com CUSTOMER SERVICE King County: 425.255.6969 Pierce County: 253.383.0055 Snohomish County: 425.586.6964 Customer Service Email CS.WA@TicorTitle.com MYTICOR.COM BELLEVUE Ph: 425.467.9170 FEDERAL WAY Ph: 253.765.7255 GIG HARBOR Ph: 253.858.2999 EVERETT Ph: 425.586.6964 WEST SEATTLE Ph: 206.393.0916 COVINGTON Ph: 253.631.3990 PUYALLUP Ph: 253.840.2560 LYNNWOOD Ph: 425.434.4010 SEATTLE LAKE UNION Ph: 206.720.0114 UNIVERSITY PLACE Ph: 253.460.2921 SEATTLE COMMERCIAL Ph: 206.393.9826 TACOMA COMMERCIAL Ph: 253.620.1391

CLOSING COSTS

WHAT BUYERS & SELLERS TYPICALLY PAY FOR

Closing Costs are fees and expenses, over and above the price of the property, incurred by the buyer and/or the seller in the property ownership transfer. Examples are title searches, closing services, loan fees and deed filing fees. Also called settlement costs. There are two sides (buyer and seller) to the equation when determining closing costs. Below is a simple customary closing cost list. Keep in mind these are typical, but should not be considered hard fast rules, feel free to consult your real estate agent for more detail.

SELLER NORMALLY PAYS FOR:

One-half of the escrow fee (according to contract)

Work orders (according to contract)

Owner’s title insurance premiums

Real estate commission

Any judgments, tax liens, etc. against the seller

Any unpaid Homeowner Association dues

Home Warranty (according to contract)

Any bonds or assessments (according to contract)

Any loan fees required by buyer’s lender (according to contract)

Recording charges to clear all documents of record against seller

Payoff of all loans in seller’s name (or existing loan balance being assumed by buyer)

Interest accrued to lender being paid off, reconveyance fees and any prepayment penalties

Excise Tax (% based on county and sale price)

BETTER CLOSING EXPERIENCE...

BUYER NORMALLY PAYS FOR:

One-half of the escrow fee (according to contract)

Lender’s title policy premiums (ALTA)

Document preparation (if applicable)

Tax pro-ration (from date of acquisition)

Recording charges for all documents in buyer’s names

Home Owner’s insurance premium for first year

Home Warranty (according to contract)

Inspection fees (according to contract): roofing, property, geological, pest, etc.

All new loan charges (except those required by lender for seller to pay)

Interim interest on new loan from date of funding to first payment date

From open to close, our team is dedicated to creating a superior client experience by providing clear communication, personalized service, and consistency with every escrow transaction.

Direct your next transaction to Ticor Title and let our resources, services, and team of specialists make your closing a success!

TITLE OFFICE PH: 425.255.7472 FX: 877.521.9938 WEBSITES www.myticor.com www.ticorblog.com CUSTOMER SERVICE King County: 425.255.6969 Pierce County: 253.383.0055 Snohomish County: 425.586.6964 Customer Service Email CS.WA@TicorTitle.com MYTICOR.COM BELLEVUE Ph: 425.467.9170 FEDERAL WAY Ph: 253.765.7255 GIG HARBOR Ph: 253.858.2999 EVERETT Ph: 425.586.6964 WEST SEATTLE Ph: 206.393.0916 COVINGTON Ph: 253.631.3990 PUYALLUP Ph: 253.840.2560 LYNNWOOD Ph: 425.434.4010 SEATTLE LAKE UNION Ph: 206.720.0114 UNIVERSITY PLACE Ph: 253.460.2921 SEATTLE COMMERCIAL Ph: 206.393.9826 TACOMA COMMERCIAL Ph: 253.620.1391

Escrow is an arrangement in which a neutral third party (escrow agent) takes instruction from buyer and seller to process documentation and handle funds in the real estate transactions. The chart below is meant to be a general overview of the process. Individual transaction steps may vary.

TITLE OFFICE PH: 425.255.7472 FX: 877.521.9938 WEBSITES www.myticor.com www.ticorblog.com CUSTOMER SERVICE King County: 425.255.6969 Pierce County: 253.383.0055 Snohomish County: 425.586.6964 Customer Service Email CS.WA@TicorTitle.com MYTICOR.COM BELLEVUE Ph: 425.467.9170 FEDERAL WAY Ph: 253.765.7255 GIG HARBOR Ph: 253.858.2999 EVERETT Ph: 425.586.6964 WEST SEATTLE Ph: 206.393.0916 COVINGTON Ph: 253.631.3990 PUYALLUP Ph: 253.840.2560 LYNNWOOD Ph: 425.434.4010 SEATTLE LAKE UNION Ph: 206.720.0114 UNIVERSITY PLACE Ph: 253.460.2921 SEATTLE COMMERCIAL Ph: 206.393.9826 TACOMA COMMERCIAL Ph: 253.620.1391
12 STEPS TO CLOSING ESCROW PROCESS Escrow opens order when instructions are received. LENDER INSTRUCTIONS 1 INTRO CALL 2 TITLE INSURANCE 3 PROCESS FILE & CLEAR TITLE 4 CONFIRM CLOSING DATES 5 STATUS UPDATES 6 PREPARE LEGAL DOCUMENTS 7 ESTIMATED SETTLEMENT STATEMENT 8 SIGNING APPOINTMENTS 9 FINAL LENDER REVIEW & FUNDING 10 RECORD & DISBURSE FUNDS 11 SUCCESSFUL CLOSING 12 Call clients to introduce the closing team & review closing process Commitment issued Examination completed Title ordered Liens Mortgages Taxes Request documents from lender Provide weekly status updates via email Per lender instructions Send to all parties for approval Borrower signs closing docs Signed docs back to lender Lender wires funds to escrow Congratulations on a successful closing! Title issues policy to owner and lender

ALTA POLICY COMPARISONS

The Owner’s Policy as defined by Wikipedia “assures a purchaser that the title to the property is vested in that purchaser and that it is free from all defects, liens and encumbrances except those listed as exceptions in the policy or are excluded from the scope of the policy's coverage. It also covers losses and damages suffered if the title is unmarketable. The policy also provides coverage for loss if there is no right of access to the land. Although these are the basic coverages, expanded forms of residential owner's policies exist that cover additional items of loss.

The liability limit of the owner's policy is typically the purchase price paid for the property. As with other types of insurance, coverages can also be added or deleted with an endorsement. There are many forms of standard endorsements to cover a variety of common issues. The premium for the policy may be paid by the seller or buyer as the parties agree.”

ALTA HOMEOWNER’S POLICYEXPANDED COVERAGE:

The ALTA Homeowner’s policy offers what we believe to be the most comprehensive coverage available. Two items to note: In addition to the level of coverage afforded by Standard Owner’s Policy, the ALTA Homeowners policy offers Post Closing Coverage on certain items.

Specific items covered by the ALTA Homeowners policy are subject to Customer Deductibles and a Maximum Liability Amount per said covered item.

ALTA OWNER’S POLICYEXTENDED COVERAGE:

Extended coverage provides additional protection against loss due to off-record matters including, but not limited to the following:

Unrecorded liens; undisclosed easements, except underground easements; survey and boundary questions; and any lien, or right to a lien, for labor, material, services or equipment, or for contributions to employee benefit plans, or liens under Workmen’s Compensation Acts, not disclosed by the public records.

ALTA OWNER’S POLICYSTANDARD COVERAGE:

Standard coverage offers the least comprehensive form of title insurance available.

Even though the Homeowner’s policy is an excellent choice, the Realtor® should always make sure that the buyer and seller understand that there are options to choose from. If another form is desired by the buyer, it must be addressed in the purchase and sale agreement, and then it must be confirmed that the title commitment reflects the correct policy.

TITLE OFFICE PH: 425.255.7472 FX: 877.521.9938 WEBSITES www.myticor.com www.ticorblog.com CUSTOMER SERVICE King County: 425.255.6969 Pierce County: 253.383.0055 Snohomish County: 425.586.6964 Customer Service Email CS.WA@TicorTitle.com MYTICOR.COM BELLEVUE Ph: 425.467.9170 FEDERAL WAY Ph: 253.765.7255 GIG HARBOR Ph: 253.858.2999 EVERETT Ph: 425.586.6964 WEST SEATTLE Ph: 206.393.0916 COVINGTON Ph: 253.631.3990 PUYALLUP Ph: 253.840.2560 LYNNWOOD Ph: 425.434.4010 SEATTLE LAKE UNION Ph: 206.720.0114 UNIVERSITY PLACE Ph: 253.460.2921 SEATTLE COMMERCIAL Ph: 206.393.9826 TACOMA COMMERCIAL Ph: 253.620.1391
*The attached is information only and may not constitute an all inclusive comparison of policy types; for more information, please contact your title officer.

Undisclosed ormissing heirs

Clericalerrorsin recorded legaldocuments

Unrecorded liens

This covered risk is subject to;

This covered risk is subject to;

This covered risk is subject to; neighbor’sland.

This covered risk is subject to;

POST CLOSING COVERAGE:

POLICY PROTECTIONAGAINST THE RISKS OF: ALTA HOMEOWNERS STANDARD OWNERS EXTENDED
The RIGHT choice...your choice!

TITLE SEARCH WHAT IT MEANS FOR YOU

WHAT IS TITLE

You’ve decided to purchase a home and hope to take possession as soon as possible. The terms have been agreed on and all financial arrangements have been made. But one important detail remains. Before the transaction can close, a title search must be made. The most accurate description of title is “a bundle of rights in real property.” A title search is a means of determining from the public record that the person who is selling the property really has the right to sell it, and that the buyer is getting all the rights to the property (title) that he or she is paying for. The title company determines insurability of the title as part of the search process. This leads to the issuance of a title policy, which insures the existence or non-existence of rights to the property. The title insurance company will, at its own expense, defend the title and pay losses within the coverage of the policy if they occur.

But exactly what is involved in a title search? Ticor Title Company provides the following step-by-step review.

CHAIN OF TITLE

This is simply a history of the ownership for a particular piece of property, telling who bought and sold it, and when. The information may be derived from a variety of public records or privately owned title plants. Title plants may include index cards, punch cards, tract books, microfiche or may even be computerized. They all contain essentially the same information from which the history of the title may be secured.

TAX SEARCH

This is a search to determine the present status of general real estate taxes against the property. The tax search will reveal if taxes are current or whether any taxes are past due and unpaid from previous years.

A due and unpaid tax is a prior lien or claim on the property above all others. If a buyer purchases property with unpaid and past due taxes against it, he or she is likely to find a government body — the city, county or state — placing the property up for sale to pay those taxes. Title insurance protects the buyer against loss from unpaid and past due taxes.

REPORT ON POSSESSION

Ticor Title Company may send inspectors to look at the property to verify the lot size, check the location of improvements, and look for evidence of easements that are not shown on the record. The purpose of this is to supplement the information learned from the title search. In the eyes of the law, any buyer of real estate is assumed to have notice of all matters properly shown in the public records for that real estate, as well as any information that an actual inspection may reveal. If the inspector detects an unrecorded easement or other evidence of outstanding rights that could affect the owner’s title and possibly the value and intended use, the company will disclose these matters before the closing of the purchase. Those matters must then either be disposed of or shown as exceptions in the title insurance policy. Sometimes when an acceptable survey and appropriate affidavits are received, an inspection will not be made.

JUDGMENT AND NAME SEARCH

One of the most important parts of the title search is to determine if there are any unsatisfied judgments against the seller or previous owners which were in existence while they owned the title. A judgment is a general lien against the debtor’s real estate and constitutes security for any money owed under the judgment. The real estate can be sold to satisfy the judgment. It is extremely important to be sure that a title is not subject to judgments against the seller

or previous owners. Title insurance provides this protection. A judgment against a person named Smith may affect the title of a seller named Smith, depending on whether or not they are the same person. All possible variations of the name must be examined.

Rights established by judgment decrees, unpaid federal income taxes, and mechanic’s liens all may be prior claims on the property, ahead of the buyer’s or lender’s rights. If a judgment is discovered that constitutes a defect in the title, it is pointed out. The seller must then eliminate it before the title of the new buyer can be insured free and clear of that judgment.

COMMITMENT

When these searches have been completed, the title company issues a commitment to insure, stating the conditions under which it will insure the title. The buyer, seller and mortgage lender can proceed with the closing of the transaction after clearing up any defects in the title which may have been uncovered by the search and examination.

The mortgage lender is as concerned as the buyer about the quality of the title because the property is to be security for the new mortgage loan. The mortgage lender requires assurance that it has a valid first (or another acceptable priority) mortgage lien on the property. This is not only common sense, but generally a legal requirement of regulated mortgage lenders.

The lender’s title insurance, however, does not protect the new buyer of the property. Although the land is the same, the interest of the buyer and the interest of the lender are very different. The provisions of a lender’s title insurance policy are very different from those of a buyer’s policy. The buyer should obtain his own policy, often issued simultaneously with the lender’s policy.

TITLE OFFICE PH: 425.255.7472 FX: 877.521.9938 WEBSITES www.myticor.com www.ticorblog.com CUSTOMER SERVICE King County: 425.255.6969 Pierce County: 253.383.0055 Snohomish County: 425.586.6964 Customer Service Email CS.WA@TicorTitle.com MYTICOR.COM BELLEVUE Ph: 425.467.9170 FEDERAL WAY Ph: 253.765.7255 GIG HARBOR Ph: 253.858.2999 EVERETT Ph: 425.586.6964 WEST SEATTLE Ph: 206.393.0916 COVINGTON Ph: 253.631.3990 PUYALLUP Ph: 253.840.2560 LYNNWOOD Ph: 425.434.4010 SEATTLE LAKE UNION Ph: 206.720.0114 UNIVERSITY PLACE Ph: 253.460.2921 SEATTLE COMMERCIAL Ph: 206.393.9826 TACOMA COMMERCIAL Ph: 253.620.1391

WHAT IS ESCROW

AND WHAT ESCROW DOES FOR YOU

WHAT IS ESCROW AND WHY IS IT NEEDED?

Escrow is an arrangement in which a disinterested third party (an escrow holder), holds legal documents and disburses funds on behalf of a buyer and seller, and distributes them according to the buyer and seller’s instructions.

People buying and selling real estate often open escrow for their protection and convenience. The buyer can instruct the escrow holder to disburse the purchase price only upon the satisfaction of certain prerequisites and conditions. The seller can instruct the escrow holder to retain possession of the deed to the buyer until the seller’s requirements, including receipt of the purchase price, are met. Both rely on the escrow holder to faithfully carry out their mutually consistent instructions relating to the transaction and to advise them if any of their instructions are not mutually consistent or cannot be carried out.

Escrow is convenient for the buyer and seller because both can move forward separately but simultaneously in providing inspections, reports, loan commitments, funds, deeds, and many other items, using the escrow holder as the central deposit point. If the instructions from all parties to escrow are clearly drafted, fully detailed and mutually consistent, the escrow holder can take many actions without further consultation. This saves time and facilitates a smooth closing of the transaction.

WHAT EACH PARTY DOES IN THE ESCROW PROCESS THE SELLER

Deposits the executed deed to the buyer with the escrow holder.

Deposits evidence of inspections and any repair work as required, per the purchase and sale agreement.

Deposits required documents such as addresses of mortgage holders, homeowner association contacts, and lien holders. THE

BUYER

Deposits the funds required, in addition to any borrowed funds, to pay the purchase price with the escrow holder.

Deposits funds sufficient for home and title insurance. Approves any inspection reports, title insurance commitments, etc. called for by the purchase and sale agreement.

Fulfills any other conditions specified in the escrow instructions.

THE LENDER (IF APPLICABLE)

Deposits proceeds of the loan to the purchaser.

Directs the escrow holder on the conditions under which the loan funds may be used.

THE ESCROW HOLDER

Act as the (neutral) impartial third party or depository of documents and funds.

Secure a title insurance policy and work to clear matters of record

Process and coordinate the flow of documents

Fulfill lender requirements and keep all parties informed of progress on the escrow.

Prepare final statements for each party, which include a detailed accounting summary of prorated insurance, taxes, rents, etc.

Facilitate signing of final closing documents for all parties

Deliver executed documents to lender for review

Record deed and loan documents, (deliver the deed to the buyer)insure conveyance of title, loan documents to the lender and funds to the seller, closing the escrow.

Disburses funds for title insurance, recording fees, real estate commissions, lien clearance, etc.

TITLE OFFICE PH: 425.255.7472 FX: 877.521.9938 WEBSITES www.myticor.com www.ticorblog.com CUSTOMER SERVICE King County: 425.255.6969 Pierce County: 253.383.0055 Snohomish County: 425.586.6964 Customer Service Email CS.WA@TicorTitle.com MYTICOR.COM BELLEVUE Ph: 425.467.9170 FEDERAL WAY Ph: 253.765.7255 GIG HARBOR Ph: 253.858.2999 EVERETT Ph: 425.586.6964 WEST SEATTLE Ph: 206.393.0916 COVINGTON Ph: 253.631.3990 PUYALLUP Ph: 253.840.2560 LYNNWOOD Ph: 425.434.4010 SEATTLE LAKE UNION Ph: 206.720.0114 UNIVERSITY PLACE Ph: 253.460.2921 SEATTLE COMMERCIAL Ph: 206.393.9826 TACOMA COMMERCIAL Ph: 253.620.1391

Turn static files into dynamic content formats.

Create a flipbook
Issuu converts static files into: digital portfolios, online yearbooks, online catalogs, digital photo albums and more. Sign up and create your flipbook.