The Diptera of Suffolk

Page 1

Introduction

THE DIPTERA OF SUFFOLK PETER VINCENT

The records that form this checklist are from the Watsonian vice-counties of East (v.c. 25) and West (v.c. 26) Suffolk which are of greater extent than the modern administrative county boundaries. Diptera are not well recorded in Suffolk, with few records of even quite common species. Therefore, although records are in the main collected at monad (O.S.1km square) or greater accuracy, in order to assess the relative abundance and distribution of a diptera species the hectad (O.S.10km square) is used as the base recording unit. Suffolk comprises of 54 hectads or part hectads.

In this checklist of Suffolk Diptera, the arrangement of families follows as set out in Chandler (1998) and updates (Dipterists Forum, 2022). The classification of British diptera starts with the Lower Diptera (Nemotercera) followed by the Brachycera. Within families, all taxa are listed alphabetically. Altogether there are at present 107 families of diptera recognised within the British fauna, and the British Isles list of diptera currently (July 2022) runs to some 7224 species (of which 41 are recorded from Ireland only) (Chandler, 2022).

The layout of the checklist is that for each family the first division is by genus and then by species in alphabetical order. For most families, subfamilies and tribes are also recognised: and the genus can also be divided at subgenus level. For every individual species the species name (in bold type) is followed by the authority, then details of the first record of that species from Suffolk - place, date (with as much accuracy as possible) and recorder (where known). To give an indication of the distribution and the abundance of each species, this is followed by a list of all the hectads each species has occurred and the number of known records (in square brackets).

Part Five: Atelestidae, Hybotidae,

Empididae, Brachystomatidae, Dolichopodidae.

The first three parts of the checklist list all the known Suffolk species of the twentyfive families of the Lower Diptera suborder. Part Four started the second suborder of Diptera, the Brachycera. The Brachycera contains the remaining six infraorders of the British diptera, a total of eighty-one families. The first four infraorders; Xylophagomorpha, Tabanomorpha, Stratiomyomorpha and Asilomorpha, containing eleven families were covered in Part Four. The fifth infraorder the Eremoneura comprises of the Empidoidea and the Cyclorrhapha. The three superfamilies of the Cyclorrhapha will be covered in subsequent parts of the checklist, while this Part Five of the checklist deals with the Empidoidea superfamily. The Empidoidea contains five families, Atelestidae, Hybotidae, Empididae, Brachystomatidae and Dolichopodidae. The Dolichopodidae has remained largely unchanged apart from the transfer of the Microphoridae from the Empididae. However, the dismemberment by Chvála (1983) and by Sinclair & Cumming (2006) of the old family Empididae as interpreted in the monograph of the British species by Collin (1961), has resulted in the now five Empidoidea families.

43 SUFFOLK DIPTERA CHECKLIST Trans. Suffolk Nat. Soc. 58 (2022)

The Atelestidae are a small family of flies, comprising in Britain of just two species, and although one species has been found widely in England and Wales, it is yet to be recorded from Suffolk. Hybotidae are instead a moderately-large family of flies found widely in the county. They are sometimes known as dance flies because of their habit of running around in intricate patterns when hunting on tree bark or on the leaves of low bushes and plants. Hybotids are very small to small slender-bodied flies, usually black in colour but some are yellow. Many have dilated and raptorial legs for grasping and consuming prey. Their biology is understudied, but they are probably nearly entirely predatory as adults. Two species of Hybotidae that have been recorded from Suffolk are classified as Nationally Endangered;

The Empididae range from very small flies, little more than 2mm in length, to very large and a body length of almost 12mm. They have a slender body, rarely thickset, and are generally black or dusted grey, rarely yellow. The legs are usually quite slender, though, in some cases, the forelegs are raptorial and adapted to catching and holding prey. The proboscis is often long and although some species have on short mouthparts, in several genera powerful and piercing, giving rise to the common name of dagger flies. For a long time, the Empididae have been the subject of

Trans. Suffolk Nat. Soc. 58 (2022) Suffolk Natural History, Vol. 58 44
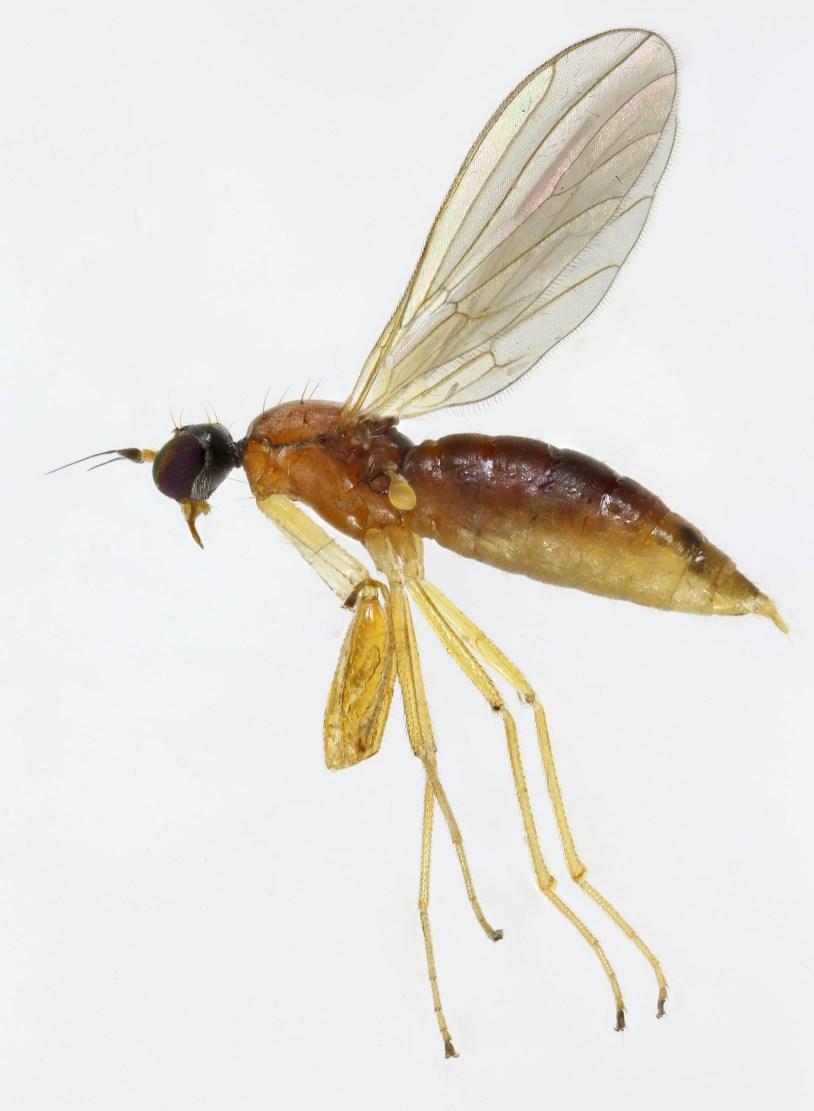
Platypalpus minutus (Hybotidae) Martin Cooper Empis tessellate (Empididae) Paul Kitchener Holoclera variabilis (Empididae) Martin Cooper

general interest because of their swarming aggregations and unique habits of parallel prey presentation, a transfer of the so called ‘nuptial gift’ or ‘wedding present’ during mating aerial aggregations. Recorded from Foxhole Heath, Eriswell in 1981 and 1982 by Jonathan Cole, the Empid Empis impennis Strobl, 1902 is regarded as Nationally Vulnerable (Falk & Crossley, 2005). Of the 208 British species 108 have been recorded from Suffolk.

Brachystomatidae are another small family of flies, containing just four British species. Brachystomatinae was classified as a subfamily within Empididae until 2006 when Sinclair & Cumming (2006) raised it to family rank. Though still regarded as a family on the British checklist (Chandler, 2022), new analysis suggests a restoration to subfamily rank. The only species recorded in Suffolk is Gloma fuscipennis Meigen, 1822 found at Norton in June 2013.

Dolichopodidae, commonly called long-legged flies, are a distinctive and easily recognised dipteran family. The body is slender, stouter in the smaller species, and rather bilaterally compressed. They are usually metallic greenish to bronze in colour although rarely non-metallic yellow, brown or black. Males often exhibit secondary sexual characteristics, such as conspicuously modified legs, head, wings or abdomen that play an important role in courtship behaviour. Dolichopodids are usually characterised as predominantly hygrophilous, but some species occur in drier habitats

45 SUFFOLK DIPTERA CHECKLIST Trans. Suffolk Nat. Soc. 58 (2022)
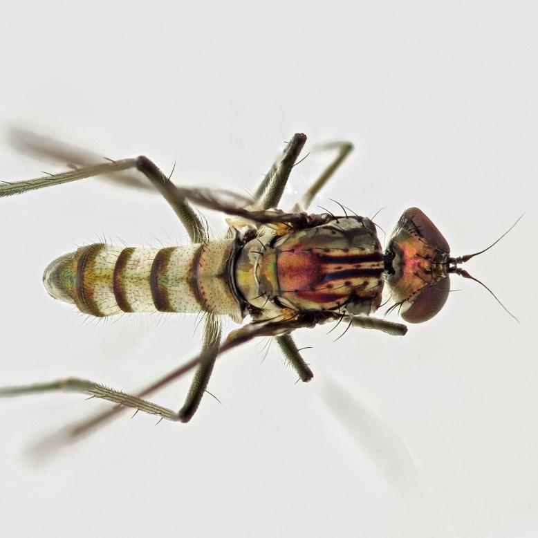
Dolichopus ungulatus Janet Graham Phyllodromia melanocephala (Empididae) Argyra diaphana (Dolichopodidae) Paul Kitchener

such as heathland and dunes. Amongst the species still known to be present in the county, Suffolk holds important populations of some of Britain’s most endangered dolichopodids. With only three recent British records from Lakenheath Poors Fen and Pashford Poors Fen, Dolichopus plumitarsis Fallén, 1823, must be considered as one of the rarest and most threatened British species. It is categorised as Endangered by Drake (2018) as is D. laticola Verrall, 1904. This species was known only to occur in the River Bure and Ant catchments of the Norfolk Broads but has been subsequently found in Suffolk at Walberswick (Vincent, 2011) and Middleton. Other Dolichopodids with nationally important Suffolk populations are Dolichopus agilis Meigen, 1824 and Poecilobothrus ducalis (Loew, 1857). Both are classified as Vulnerable by Drake (2018) and the only British record of Hercomstomus verbekei Pollet, 1993 was from Barton Mills where it was found in 1987 by Peter Hodge (Hodge, 1996). Although, thought of as of Lower Risk (Drake, 2018) D. migrans is an East Anglian specialist with a small but seemingly stable population on the Breckland heaths of Suffolk and Norfolk. Of the 304 species on the British checklist 196 have been recorded from Suffolk.

Trans. Suffolk Nat. Soc. 58 (2022) Suffolk Natural History, Vol. 58 46
Dolichopus migrans Ian Andrews Liancalus virens Martin Cooper Martin Cooper Poecilobothrus nobilitatus

Records for this section of the checklist come mainly from Suffolk Biodiversity Information Centre (SBIS), the National Biodiversity Network (NBN), and the Empid and Dolichopodid Recording Scheme, with historical records from the Transactions of the Norfolk & Norwich Naturalists’ Society (Morley & Atmore, 1915) and the Transactions of the Suffolk Naturalists’ Society (Morley, 1953; Aston, 1954; Aston & Walker, 1957; Garrett-Jones, 1957 and Hubbard, 2000). Other records were obtained from Hodge (1996) and Laurence (1997).

A few records have been italicised; these records whether for rarity, location, habitat, or date are considered doubtful. These records have been maintained in the checklist until further checks can be done on any possible voucher specimens to support the record. These records have not been included in the species totals.

References

Ashton, A.E. (1954). The Diptera of Suffolk (continued). Family xxv Trans. Suffolk Nat. Soc. 9 (1): 22-31.

Ashton, A.E. & Walker, D. (1957). The Diptera of Suffolk. Family xxv Trans. Suffolk Nat. Soc. 10 (1): 54-61.

Chandler, P.J. (ed.) (1998). Checklists of Insects of the British Isles (New Series). Part 1; Diptera. Handbooks for the Identification of British Insects 12(1): 1-234.

Chvála, M. (1983). The Empidoidea (Diptera) of Fennoscandia and Denmark. II. General Part. The Families Hybotidae, Atelestidae and Microphoridae. Fauna Entomologica Scandinavia 12: 1-279.

Collin, J.E. (1961). Empididae. British Flies 6: 1-782. Cambridge.

Dipterists Forum. (2022). An Update of the 1998 Checklist of Diptera of the British Isles (updated 5 July 2022) Dipterists Forum [online] http://www. dipterists.org.uk/ checklist/ [Accessed 15 October 2022].

Drake, C.M. (2018). A review of the status of Dolichopodidae flies of Great BritainSpecies Status No.30. Natural England Commissioned Reports, Number 195

Falk, S.J. & Crossley, R. (2005). A review of the scarce and threatened flies of Great Britain. Part 3: Empidoidea. Species Status 3: 1-134. Joint Nature Conservation Committee, Peterborough.

Garrett-Jones, C. (1957). Further Records of Empididae (Diptera Family xxii) in Suffolk. Trans. Suffolk Nat. Soc. 10 (2): 130-132.

Hodge, P.J. (1996). 1995 Annual Exhibition, Diptera. Eight species of Diptera including three representing the first British records. British Journal of Entomology and Natural History 9: 231.

Hubbard, A.C. (2000). Recent records of some notable and rare Diptera from Suffolk. Trans. Suffolk Nat. Soc. 36: 76-80.

Laurence, B.R. (1997). Flies from ancient coppiced woodland in Suffolk. Dipterist Digest (Second Series) 4: 78-91.

Morley, C. & Atmore, E.A. (1915). The Diptera of Norfolk and Suffolk. Transactions of the Norfolk & Norwich Naturalists’ Society 10: 1-180.

Morley, C. (1953). The Diptera of Suffolk. Family xviii Empididae Trans. Suffolk Nat. Soc. 7 (3): 108-117.

47 SUFFOLK DIPTERA
Trans. Suffolk Nat. Soc. 58 (2022)
CHECKLIST

Sinclair, B.J. & Cumming, J.M. (2006). The morphology, higher-level phylogeny and classification of the Empidoidea (Diptera). Zootaxa 1180: 172 pp.

Vincent, P.J. (2011). Some notes on Dolichopus laticola (Verrall) (Diptera, Dolichopodidae) a UK BAP Priority Fly; the first recent record of this species outside Norfolk. Dipterist Digest (Second Series) 18 (2): 199-203.

Suffolk Diptera Checklist (Part Five)

HYBOTIDAE

HYBOTINAE

Bicellariini

BICELLARIA Macquart, 1823

intermedia Lundbeck, 1910 - Sizewell, 21 June 1989, D.A. Smith TM 46 [1]

mera Collin, 1961 - Redgrave and Lopham Fen, 1978-1985, P. Withers TM 07 [3]

nigra (Meigen, 1824) - Elvedon, 8 May 2005, D.J. Gibbs TL 88 [1]

pilosa Lundbeck, 1910 - Bradfield Woods, May 1991, B.R. Laurence TL 78,87,95 [7]

simplicipes (Zetterstedt, 1842) - Cavenham Heath, 18 June 1995, I. Perry TL 77,78

TM 07,47 [4]

spuria (Fallén, 1816) - Cavenham Heath, 6 September 1998, Dipterists Forum TL 77 [1]

vana Collin, 1926 - Redgrave and Lopham Fen, 1978-1985, P. Withers TL 77,78,97

TM 04,05,07,15,27,35,36,37,46,47,49,59 [28]

Hybotini

HYBOS Meigen, 1803

culiciformis (Fabricius, 1775) -Tuddenham, 28 August 1902, C.G. Nurse

TL 67,77,78,86,87 TM 46,47 [29]

femoratus (Müller, 1776) - Brandon, August 1906, C. Morley TL 77,78

TM 05,07,27,46,47 [15]

grossipes (Linnaeus, 1767) - Wangford Warren, 28 May 1982, J.H. Cole TL 77,78 [3]

OCYDROMIINAE

Ocydromiini

LEPTOPEZA Macquart, 1834

flavipes (Meigen, 1820) - Barton Mills, 1899, C. Morley TL 77,78,97 TM 07,38,39,46 [7]

OCYDROMIA Meigen, 1820

glabricula (Fallén, 1816) - Newmarket, May 1943, J.E. Collin TL 66,67,77,97

TM 05,07,27,28,36,38,45,46 [22]

OROPEZELLA Collin, 1926

sphenoptera (Loew, 1873) - Market Weston Fen, 25 June 2013, P.J. Vincent TL 97

TM 47 [2]

OEDALEINAE

EUTHYNEURA Macquart, 1836

halidayi Collin, 1926 - Timworth, no date given, C.G. Nurse TL 86 [1]

no recent records

inermis (Becker, 1910) - Wordwell, 1997, I. Perry TL 87,97 [2]

myricae Haliday in Walker, 1851 - Market Weston Fen, 25 May 2010, I. Perry

TL 87,97 [2]

Trans. Suffolk Nat. Soc. 58 (2022) Suffolk Natural History, Vol. 58 48

OEDALEA Meigen, 1820

flavipes Zetterstedt, 1842 - Kelsale, 27 June 2015, P.J. Vincent TM 36 [1]

holmgreni Zetterstedt, 1852 - Pashford Poors Fen, Lakenheath, 19 May 1984, I. Perry TL 77,78,87,88,95 TM 04,07,15,47 [11]

oriunda Collin, 1961- Barnham, 13 May 1995, J. H. Cole TL 77,87 [2]

stigmatella Zetterstedt, 1842 - Redgrave and Lopham Fen, 1978-1985, P. Withers

TL 78,87,95 TM 04,07 [7]

tibialis Macquart, 1827 - Bradfield Woods, July 1990, B.R. Laurence TL 95 TM 47 [2]

TACHYDROMIINAE

Drapetini

CHERSODROMIA Haliday in Walker, 1851

alata (Walker, 1835) - Aldeburgh, 25 July 1899, C. Morley TM 46,47 [2]

cursitans (Zetterstedt, 1819) - Minsmere, 18 May 2004, D.J. Gibbs TM 46,47 [5]

CROSSOPALPUS Bigot, 1857

curvinervis (Zetterstedt, 1842) - Minsmere, 18 May 2004, D.J. Gibbs TM 46,47 [7]

curvipes (Meigen, 1822) - Aldeburgh, 1910, J.E. Collin TM 45,46,47,51 [8]

humilis (Frey, 1913) - Newmarket, 14 March 1905, J.E. Collin TL 66 TM 46 [2]

minimus (Meigen, 1838) - Elvedon, 27 July 2006, D.J. Gibbs TL 88 [1]

nigritellus (Zetterstedt, 1842) - Bentley Woods, 9 April 1897, C. Morley

TL 67,77,88,95 TM 07,13 [11]

DRAPETIS Meigen, 1822

arcuata Loew, 1859 - Bentley Woods, 17 May 1898, C. Morley TL 66,77 TM 13 [4] no recent records

assimilis (Fallén, 1815) - Newmarket, 3 July 1906, J.E. Collin TL 66,88,95

TM 07,17,34,36,38 [13]

convergens Collin, 1926 - Orford, 26 August 1907, J.J.F.X. King TM 45 [3]

exilis Meigen, 1822 - Newmarket, 12 July 1931, J.E. Collin TL 66,67,95 TM 46 [6]

infitialis Collin, 1961 - Worlington, 12 February 1939, J.E. Collin TL 66,67 [4]

parilis Collin, 1926 - Bradfield Woods, August 1991, B.R. Laurence TL 95 TM 04,24 [4]

pusilla Loew, 1859 - Barton Mills, 1939, J.E. Collin TL 67,77,95 [4]

simulans Collin, 1961 - Barton Mills, 12 August 1926, J.E. Collin TL 67,77,95 [5]

ELAPHROPEZA Macquart, 1827

ephippiata (Fallén, 1815) - Newmarket, July 1886, J.E. Collin TL 67,78,87,97

TM 07,08,26,46 [13]

STILPON Loew, 1859

graminum (Fallén, 1815) - Barton Mills, 9 March 1905, J.E. Collin TL 77,97

TM 07,08,46 [17]

lunatus (Haliday in Walker, 1851) - Aldeburgh, September 1907, J. E. Collin TM 46 [3]

Symballophthalmini

SYMBALLOPHTHALMUS Becker, 1889

fuscitarsis (Zetterstedt, 1859) - Bradfield Woods, May 1991, B.R. Laurence TL 95 [3]

49 SUFFOLK
Trans. Suffolk Nat. Soc. 58 (2022)
DIPTERA CHECKLIST

Tachydromiini

PLATYPALPUS Macquart, 1827

aeneus (Macquart, 1823) - Bradfield Woods, 1977-1984, B.R. Laurence TL 95 [1]

agilis (Meigen, 1822) - Southwold, 23 May 1908, C. Morley TL 86,87,88,95,96

TM 07,15,27,37,38,46,47,57 [13]

albicornis (Zetterstedt, 1842) - Bradfield Woods, 22 May 2007, I. Perry TL 95 [1] earlier records without specific details

albifacies (Collin, 1926) - Bradfield Woods, May 1990, B.R. Laurence TL 95 [2] earlier records without specific details

albiseta (Panzer, 1806) - Redgrave and Lopham Fen, 10 June 2000, C.M. Drake

TM 07 [1] earlier records without specific details

albocapillatus (Fallén, 1815) - Orford, 1907, J.E. Collin TM 44,45,47 [3]

annulatus (Fallén, 1815) - Orford, June 1908, J.E. Collin TL 77,78,87,88,95

TM 07,44,46,47 [26]

annulipes (Meigen, 1822) - Bawdsey, 11 June 1983, M.W. Hanson

TL 67,76,86,87,88 TM 04,07,15,17,27,33 [15]

aristatus (Collin, 1926) - Bawdsey, 11 June 1983, M.W. Hanson TM 33 [1]

earlier records without specific details

articulatoides (Frey, 1918) - Lakenheath, 21 June 1992, C.M. Drake TL 78,88,97

TM 07 [9]

articulatus Macquart, 1827 - Newmarket, no date given, J.E. Collin TL 77,78 [5]

aurantiacus (Collin, 1926) - Orford, 20 June 1907, G.H. Verrall TL 87 TM 45 [2]

no recent records

australominutus Grootaert, 1989 - Lakenheath, 29 May 1999, J.H. Cole TL 78 [2]

calceatus (Meigen, 1822) - Benstead Marshes, Mettingham, 26 July 1977, D.A. Smith TM 03,04,17,36,39 [6]

candicans (Fallén, 1815) - Bradfield Woods, May 1990, B.R. Laurence TL 95,96

TM 07,37 [5]

ciliaris (Fallén, 1816) - Bradfield Woods, July 1990, B.R. Laurence TL 67,88,95

TM 33,37 [11]

clarandus (Collin, 1926) - Wangford Warren, 1 August 1984, I. Perry TL 78 [1]

cothurnatus Macquart, 1827 - Orford, 1908, J.J.F.X. King TL 95 TM 15,17,33,45,46 [8]

cryptospina (Frey, 1909) - West Stow, 6 June 1922, J.E. Collin TL 87,88 [2]

cursitans (Fabricius, 1775) - Elvedon, 8 May 2005, D.J. Gibbs TL 86,88 [3]

excavatus Yang & Yao, 2007 - Lackford, 27 September 2002, Natural England TL 77 [1]

exilis (Meigen, 1822) - Bentley Woods, 11 July 1904, C. Morley TL 78

TM 07,13,15,47 [5]

fasciatus (Meigen, 1822) - Mildenhall, 6 July 1920, C. Morley TL 77 [1]

no recent records

flavicornis (Meigen, 1822) - Dunwich, 13 May 1905, C.H. Andrewes TL 78 TM 07,47 [4]

incertus (Collin, 1926) - Newmarket, no date given, J.E. Collin TL 66 [1]

no recent records

infectus (Collin, 1926) - Newmarket, 11 August 1884, G.H. Verrall TL 66 [1]

no recent records

Trans. Suffolk Nat. Soc. 58 (2022) Suffolk Natural History, Vol. 58 50

DIPTERA CHECKLIST

interstinctus (Collin, 1926) - Wangford Warren, 1 August 1984, I. Perry TL 78 TM 07 [6]

leucocephalus (von Roser, 1840) - Bradfield Woods, 29 May 2009, I. Perry TL 95 TM 17 [3]

longicornis (Meigen, 1822) - Monk Soham, 8 July 1914, C. Morley

TL 67,76,77,86,87,95,96 TM 07,26,47 [28]

longimanus (Corti, 1907) - Wordwell, 1997, I. Perry TL 77,87 [2]

longiseta (Zetterstedt, 1842) - Newmarket, May 1921, J.E. Collin

TL 66,67,78,86,87,88,95,96 TM 15,16,38,46,47 [35]

luteicornis (Meigen, 1838) - Barton Mills, September 1938, J.E. Collin TL 77 [1] no recent records

luteus (Meigen, 1804) - Bradfield Woods, May 1991, B.R. Laurence TL 95 [1]

maculipes (Meigen, 1822) - Redgrave and Lopham Fen, 1978-1985, P. Withers

TL 77,86 TM 07,35 [4]

minutus (Meigen, 1804) - Claydon, September 1901, C. Morley

TL 67,76,77,78,86,88,97 TM 07,13,14,15,26,37,38,46 [27]

niger (Meigen, 1804) - Cavenham Heath, 20 August 1977, J.H. Cole TL 77,97 [2]

nigritarsis (Fallén, 1816) - Wangford Warren, 28 May 1982, J.H. Cole

TL 67,77,78,86,87,97 TM 07,33,44 [15]

notatus (Meigen, 1822) - Tuddenham, 1910, C.G. Nurse TL 77 TM 07,46 [4]

optivus (Collin, 1926) - Wolverstone, 13 May 1905, C.H. Andrewes TL 95

TM 04,23,27 [4]

pallidicornis (Collin, 1926) - Southwold, 2 August 1982, D.A. Smith TL 68,78

TM 07,46,58 [16]

pallidiventris (Meigen, 1822) - Monk Soham, 31 June 1916, C. Morley

TL 67,76,77,78,86,87,88,95 TM 07,14,15,26,27,28,46,47,58 [62]

pallipes (Fallén, 1815) - Benacre, 1979, Natural England TL 67 TM 33,58 [3]

parvicauda (Collin, 1926) - Elvedon, 30 June 2007, D.J. Gibbs TL 88 [1]

pectoralis (Fallén, 1815) - Barnham, 12 August 1995, J.H. Cole TL 67,78,87,88 [6]

politus (Collin, 1926) - Orford, date unknown, J.J.F.X. King TM 44 [1]

no recent records

praecinctus (Collin, 1926) - Woodbridge, 30 August 1907, G.H. Verrall TL 66,67

TM 07,14,24,36,44 [8]

pseudociliaris (Strobl, 1910) - Wangford Warren, 28 May 1982, J.H. Cole TL 78,95

TM 07 [4]

pseudofulvipes (Frey, 1909) - no specific record but mentioned from Suffolk in Collin (1961)

pulicarius (Meigen, 1830) - Orford, 1908, J.J.F.X. King TM 44,58 [2]

ruficornis (von Roser, 1840) - Orford, date unknown, J.E. Collin TL 95 TM 44 [3]

stigma (Collin, 1926) - Newmarket, 24 May 1914, J.E. Collin TL 66 [1]

no recent records

strigifrons (Zetterstedt, 1849) - Bawdsey, 11 June 1983, M.W Hanson TL 67,77

TM 33,46,58,59 [7]

verralli (Collin, 1926) - Ampton, 1910, C.G. Nurse TL 87 TM 07 [2]

51 SUFFOLK
Trans. Suffolk Nat. Soc. 58 (2022)

TACHYDROMIA Meigen, 1803

aemula (Loew, 1864) - Orford, 9 July 1908, J.J.F.X. King TL 67,77,78,95

TM 07,44,57 [10]

arrogans (Linnaeus, 1761) - Bradfield Woods, 1977-1984, B.R. Laurence TL 95

TM 07 [3]

connexa Meigen, 1822 - Ipswich, 28 May 1897, C. Morley TM 14 [1]

no recent records

costalis (von Roser, 1840) - Barton Mills, 31 May 1911, C.E. Collin TL 77 [4]

no recent records

halterata (Collin, 1926) - Newmarket, 26 May 1874, G.H. Verrall TL 66 [2]

no recent records

TACHYPEZA Meigen, 1830

nubila (Meigen, 1804) - Newmarket, 1893, J.E. Collin TL 66,67,78,86,87

TM 05,07,14,34,45,49 [42]

TRICHININAE

TRICHINA Meigen, 1830

clavipes Meigen, 1830 - Brandon, 20 June 1914, C. Morley TL 78 [1]

no recent records

elongata Haliday, 1833 - Bawdsey, 11 June 1983, M.W. Hanson TL 78 TM 07,15,33 [4]

opaca Loew, 1864 - Mildenhall, 14 May 1909, J.W. Yerbury TL 67,77 [4]

pallipes (Zetterstedt, 1838) - Barton Mills, 26 June 1935, J.E. Collin TL 77,98 [3]

TRICHINOMYIA Tuomikoski, 1959

flavipes (Meigen, 1830) - Dodnash Wood, Bentley, 1903, C. Morley TL 95 TM 13 [2]

EMPIDIDAE

CLINOCERINAE

CLINOCERA Meigen, 1803

stagnalis (Haliday, 1833) - Tuddenham, June 1880, G.H Verrall TL 77 TM 07,23,26,45,46 [11]

DOLICHOCEPHALA Macquart, 1823

guttata (Haliday, 1833) - Sizewell, June 1989, C.M. Drake TL 97 TM 46,47 [4]

irrorata (Fallén, 1815) - Cavenham Heath, 6 September 1998, Dipterists Forum

TL 77,97 TM 28 [3]

oblongoguttata (Dale, 1878) - Sizewell, June 1989, C.M. Drake TM 07,46 [2]

ocellata (Costa, 1854) - Redgrave and Lopham Fen, 1978-1985, P. Withers TM 07 [1]

KOWARZIA Mik, 1881

bipunctata (Haliday, 1833) - Newbourne Springs, 11 May 2014, P.J. Vincent TM 24 [1]

EMPIDINAE

EMPIS Linnaeus, 1758

Subgenus COPTOPHLEBIA Bezzi, 1909

albinervis Meigen, 1822 - Felsham Hall Wood, 24 June 1976, J.H. Cole TL 67,86,95

TM 05,36 [7]

impennis Strobl, 1902 - Foxhole Heath, Eriswell, 30 July 1982, J.H. Cole TM 77 [2]

Trans. Suffolk Nat. Soc. 58 (2022) Suffolk Natural History, Vol. 58 52

Subgenus EMPIS sensu stricto

aestiva Loew, 1867 - Mettingham, 23 July 1977, D.A. Smith TL 77,87,88,95,97

TM 05,07,15,17,24,37,45,46,47 [23]

albohirta (Collin, 1926) - Redgrave and Lopham Fen, 1978-1985, P. Withers

TL 95,97 TM 07,46 [7]

caudatula Loew, 1867 - Newmarket, 1904, J.E. Collin TL 77,86

TM 17,27,28,36,37,38, [12]

chioptera Meigen, 1804 - Assington Thicks, 16 May 1902, C. Morley

TL 77,85,86,93,97 TM 07,34,46 [13]

decora Meigen, 1822 - Limbourne Common, Homersfield, 12 June 2013, P.J. Vincent TM 28 [1]

longipes Meigen, 1804 - Bradfield Woods, 1990-1991, B.R. Laurence TL 95 [1]

nigripes Fabricius, 1794 - Walberswick, 10 June 2010, P.J. Vincent TM 37,38,46,47 [5]

nuntia Meigen, 1838 - Bradfield Woods, 1990-1991, B.R. Laurence TL 76,86,95,98 TM 25,27,28,36,38,46 [16]

pennipes Linnaeus, 1758 - Timworth, no date given, C.G. Nurse TL 86 [1] no recent records

planetica Collin, 1927 - Stradbroke, 22 June 1985, P. Withers TM 27 [1]

praevia Collin, 1927 - Wangford Warren, 28 May 1982, J.H. Cole

TL 77,78,87,88,94,97 TM 15,24,33,44,46,47 [23]

prodromus Loew, 1867 - Ampton, May 1913, C.G. Nurse TL 67,77,87,88 TM 44 [12]

rufiventris Meigen, 1838 -Timworth, 3 June 1906, C.G. Nurse TL 76,87,95 [5]

vitripennis Meigen, 1822 - Tuddenham, 1910, C.G. Nurse TL 77,78 TM 47 [7]

Subgenus EUEMPIS Frey, 1953

picipes Meigen, 1804 - Barton Mills, 1879, G.H. Verrall TL 77,78,86,87,88,97 [18]

tessellata Fabricius, 1794 - Monk Soham, 29 May 1909, C. Morley

Subgenus KRITEMPIS Collin, 1926

livida Linnaeus, 1758 - Monk Soham, 12 July 1910, C. Morley TL 64,67,86,95,96,97

[58]

Subgenus LEPTEMPIS Collin, 1926

grisea Fallén, 1816 - Redgrave and Lopham Fen, 10 June 2000, J.H. Cole TL 86

TM 04,07 [3]

Subgenus LISSEMPIS Bezzi, 1909

nigritarsis Meigen, 1804 - Belstead, 31 May 1902, C. Morley TL 93 TM 14,26,47 [5]

Subgenus PACHYMERIA Stephens, 1829

femorata Fabricius, 1798 - Bentley Woods, 4 June 1901, C. Morley TL 78,87

TM 13,14,17,28,34,44,45,47 [22]

tumida Meigen, 1822 - Butley Decoy Wood, 11 June 1908, C. Morley TL 77,78

TM 07,25,34 [8]

53 SUFFOLK
Trans. Suffolk Nat. Soc. 58 (2022)
DIPTERA CHECKLIST
TL
03,04,05,07,13,14,15,24,26,27,33,34,36,37,46,47,57 [57]
74,78,86,87,88,95,96 TM
TM 03,04,05,07,14,16,25,27,28,35,36,37,46,47,48

Subgenus POLYBLEPHARIS Bezzi, 1909

opaca Meigen, 1804 - Pashford Poors Fen, Lakenheath, 19 May 1984, I. Perry

TL 77,78,79 [3]

Subgenus XANTHEMPIS Bezzi, 1909

aemula Loew, 1873 - Bradfield Woods, May 1991, B.R. Laurence TL 95 [1]

digramma Meigen in Gistl, 1835 - Tuddenham Fen, 1909, C. Morley

TL 66,67,77,78,87,88 TM 26 [14]

lutea Meigen, 1804 - Otley, 29 May 1931, C. Morley TL 95 TM 05,07,27,28,36,46 [9]

punctata Meigen, 1804 - Tuddenham, 27 June 1880, G.H. Verrall TL 77,78,87 [3]

scutellata Curtis, 1835 - Bradfield Woods, 22 May 2007, I. Perry TL 95,96

TM 17,27,28,34,36,37,46 [10]

stercorea Linnaeus, 1761 - Mildenhall, 8 May 1910, C. Morley TL 77,88,95

TM 07,15,33,37,46,47 [14]

trigramma Wiedemann in Meigen, 1822 - Ipswich, 7 May 1895, C. Morley

TL 76,77,86,87,95,96 TM 04,14,17,26,27,28,36,46,47 [19]

HILARA Meigen, 1822

aeronetha Mik, 1892 - Flatford, 6 July 1946, C. Garrett-Jones TM 03 [2]

anglodanica Lundbeck, 1913 - Flatford, 14 July 1946, C. Garrett-Jones TM 03 [1]

no recent records

apta Collin, 1927 - Flatford, 12 July 1946, C. Garrett-Jones TM 03 [1]

no recent records

brevistyla Collin, 1927 - Needham Market, 15 May 1901, C. Morley TL 77,78

TM 05,36 [4]

cantabrica Strobl, 1899 - Orford, no date given, J.J.F.X. King TM 44,45,46,47,57,58 [12]

chorica (Fallén, 1816) - Flatford, 2 July 1946, C. Garrett-Jones TL 77

TM 03,37,39,45,46 [7]

clypeata Meigen, 1822 - Bentley Woods, May 1903, C. Morley TL 77,87,88

TM 13 [5]

cornicula Loew, 1873 - Flatford, 2 July 1946, C. Garrett-Jones TM 03,17,27,28,37,47 [8]

curtisi Collin, 1927 - Bradfield Woods, 11 May 2009, I. Perry TL 95 TM 26,27 [4]

discoidalis Lundbeck, 1910 - Orford, 1908, J.J.F.X. King TL 77,78,87 TM 44 [5]

flavipes Meigen, 1822 - Iken, 31 May 1940, C. Garrett-Jones TL 77,78,79

TM 03,22,35,45,46,47 [10]

fulvibarba Strobl, 1899 - Iken, 30 June 1946, C. Garrett-Jones TM 45 [1]

no recent records

fuscipes (Fabricius, 1794) - Southwold, 9 July 1900, C. Morley TL 77,78,88

TM 03,26,36,45,46,57 [11]

galactoptera Strobl, 1910 - Newmarket, no date given, J.E. Collin TL 66,95

TM 07,15 [4]

hirtella Collin, 1927 - Mildenhall, 25 September 1908, E.A. Elliot TL 66,77,87

TM 45 [6]

hirtipes Collin, 1927 - Bradfield Woods, 22 May 2007, I. Perry TL 95 [3]

Trans. Suffolk Nat. Soc. 58 (2022) Suffolk Natural History, Vol. 58 54

interstincta (Fallén, 1816) - Monk Soham, 29 May 1928, C. Morley TL 95

TM 26,27,45,47 [7]

litorea (Fallén, 1816) - Orford, 1909, J.J.F.X. King TL 67,78,87,88

TM 03,07,13,34,45,46,47,49 [23]

longifurca Strobl, 1892 - Monk Soham, 23 May 1917, C. Morley TL 77,97

TM 03,07,26,27,33,34,45,47 [19]

lugubris (Zetterstedt, 1819) - Bradfield Woods, May 1991, B.R. Laurence

TL 77,78,87,95,98 TM 07 [14]

lurida (Fallén, 1816) - Orford, 1909, J.J.F.X. King TL 95 TM 03,07,27,39,44 [8]

maura (Fabricius, 1776) - Hacheston, 11 May 1923, C. Morley TL 77,78,87,88

TM 03,07,24,25,27,35,37,46 [24]

morata Collin, 1927 - Flatford, 5 July 1946, C. Garrett-Jones TL 77,98 TM 03 [4]

nigrina (Fallén, 1816) - Flatford, 12 July 1946, C. Garrett-Jones TL 98

TM 03,07,45,46 [6]

nitidula Zetterstedt, 1838 - Pashford Poors Fen, Lakenheath, 19 May 1984, I. Perry

TL 77,78,97 TM 45 [5]

obscura Meigen, 1822 - Iken, 6 August 1946, C. Garrett-Jones TL 77 TM 45 [2]

pilosa Zetterstedt, 1842 - Bentley Woods, 6 July 1898, C. Morley TL 77,87,93 TM 13 [4]

platyura Loew, 1873 - Wordwell, 1997, I. Perry TL 78,87,88 TM 24,35 [9]

primula Collin, 1927 - Foxhall, 24 April 1897, C. Morley TL 77 TM 24,45 [4]

pseudocornicula Strobl, 1909 - Timworth, 1910, C.G. Nurse TL 86 TM 07,24,46,57 [6]

quadrifasciata Chvála, 2002 - Iken, 6 August 1946, C. Garrett-Jones TL 86 TM 27,28,36,37,45,46 [13]

rejecta Collin, 1927 - Woodbridge, 31 August 2007, unknown TM 24,47 [2]

sturmii Meigen, 1822 - Snape, 15 August 2011, P.J. Vincent TM 45 [1]

ternovensis Strobl, 1898 - Flatford, 2 July 1946, C. Garrett-Jones TL 98 TM 03,07 [4]

thoracica Macquart, 1827 - Monk Soham, June 1910, C. Morley TM 03,26,28 [5]

RHAMPHOMYIA Meigen, 1822

Subgenus AMYDRONEURA Collin, 1926

erythrophthalma Meigen, 1830 - Beck Row, 11 October 2012, M. Vernon TL 67,78 [5]

gibba (Fallén, 1816) - Orford, 1908, J.J.F.X. King TL 67 TM 45,47 [3]

Subgenus HOLOCLERA Schiner, 1860

caliginosa Collin, 1926 - Orford, July 1908, J.J.F.X. King TM 44,45,46 [5]

flava (Fallén, 1816) - Orford, 1908, J.J.F.X. King TL 95 TM 33,45,46 [5]

nigripennis (Fabricius, 1794) - Shrubland Park, Coddenham, May-October 1995, C. Plant TM 07,15,46 [4]

sciarina (Fallén, 1816) - Wangford Wood, 13 September 1912, C. Morley TM 47 [1] no recent records

variabilis (Fallén, 1816) - Blythburgh Wood, August 1912, C. Morley TL 77 TM 14,24,35,47 [10]

Subgenus LUNDSTROEMIELLA Frey, 1922

hybotina Zetterstedt, 1838 - Hinderclay Fen, 23 June 2012, P.J. Vincent TL 07 [1]

55 SUFFOLK
Trans. Suffolk Nat. Soc. 58 (2022)
DIPTERA CHECKLIST

Subgenus MEGACYTTARUS Bigot, 1880

anomalipennis Meigen, 1822 - Barnham, 13 May 1995, R. Crossley TL 79,88 [2]

crassirostris (Fallén, 1816) - Ampton, c1910, C.G. Nurse TL 77,87,96,97

TM 04.05,07,26,27,35,46,47 [16]

maculipennis Zetterstedt, 1842 - Iken, 23 May 1947, C. Garrett-Jones

TM 44,45,46,47 [15]

Subgenus PARARHAMPHOMYIA Frey, 1922

albitarsis Collin, 1926 - Barton Mills, 25 May 1915, J.E. Collin TL 77 [1] no recent records

atra Meigen, 1822 - Newmarket, 21 May 1897, J.E. Collin TL 66,77,87 TM 35 [5]

barbata (Macquart, 1823) - Redgrave and Lopham Fen, 10 June 2000, C.M. Drake

TM 07,37,46 [4]

geniculata Meigen, 1830 - Assington Thicks, 17 May 1901, C. Morley TL 93 TM 07 [2]

marginata (Fabricius, 1787) - Barton Mills, 6 May 2022, T. Hodge TL 77 [1]

micropyga Collin, 1926 - Bradfield Woods, 22 May 2007, I. Perry TL 95 [1]

pilifer Meigen, 1838 - Ampton, c1910, C.G. Nurse TL 77,87,88,97 TM 46 [8]

simplex Zetterstedt, 1849 - Walberswick, 11 June 1985, R. Crossley

TM 44,45,47,58 [18]

tarsata Meigen, 1822 - Bentley Woods, 1898, C. Morley TL 67,77,78,79,86,87

TM 04,07,13,15,24,37,45,46,47 [36]

tibiella Zetterstedt, 1842 - Ampton, c1910, C.G. Nurse TL 77,87 TM 07,46 [5]

Subgenus RHAMPHOMYIA sensu stricto

laevipes (Fallén, 1816) - Newmarket, 13 May 1897, G.H. Verrall TL 66 [1]

no recent records

plumipes (Meigen, 1804) - Foxhall, Ipswich, 30 May 1896, C. Morley TM 24 [1]

no recent records

spinipes (Fallén, 1816) - Brandon, September 1896, C. Morley TL 78 [1]

no recent records

subcinerascens Collin, 1926 - Oulton Broad, 2 May 1898, C. Morley TM 58 [1]

no recent records

sulcata (Meigen, 1804) - Bradfield Woods, May 1991, B.R. Laurence TL 88,95

TM 46,48 [6]

sulcatella Collin, 1926 - Boyton, 2 May 2020, G. Lowe TM 34 [1]

sulcatina Collin, 1926 - Pashford Poors Fen, Lakenheath, 19 May 1984, I. Perry

TM 78 [1]

tibialis Meigen, 1822 - Redgrave and Lopham Fen, 10 June 2000, J.H. Cole TM 07 [1]

HEMERODROMIINAE Chelipodini

CHELIPODA Macquart, 1823

vocatoria (Fallén, 1816) - Newmarket, July 1886, J.E. Collin TL 66,67,98 TM 47 [8]

PHYLLODROMIA Zetterstedt, 1837

melanocephala (Fabricius, 1794) - Barton Mills, 14 June 1933, J.E. Collin

TL 77,78,87 TM 47 [5]

Trans. Suffolk Nat. Soc. 58 (2022) Suffolk Natural History, Vol. 58 56

DIPTERA CHECKLIST

Hemerodromiini

CHELIFERA Macquart, 1823

angusta Collin, 1927 - Boyton, no date given, J.E. Collin TM 34 [1] no recent records

precatoria (Fallén, 1816) - Bawdsey, 11 June 1983, M.W. Hanson TL 97

TM 27,32,33,37,39,47 [9] earlier records without specific details

HEMERODROMIA Meigen, 1822

raptoria Meigen, 1830 - Newmarket, no date given, J.E. Collin TL 66,97 TM 07,47 [7]

RAGADINAE

RAGAS Walker, 1837

unica Walker, 1837 - Newmarket, 17 May 1920, J.E. Collin TL 66 [2] no recent records

Incertae sedis in Empididae

DRYODROMYA Rondani, 1856

testacea Rondani, 1856 - Bradfield Woods, 11 May 2009, I. Perry TL 95 [1]

BRACHYSTOMATIDAE

TRICHOPEZINAE

GLOMA Meigen, 1822

fuscipennis Meigen, 1822 - Norton, 15 June 2013, P.R. Harvey TM 96 [1]

DOLICHOPODIDAE

ACHALCINAE

ACHALCUS Haliday in Loew, 1857

britannicus Pollet, 1997 - Sizewell, 28 September 2009, A Godfrey TM 46 [1]

cinereus (Haliday in Walker, 1851) - Walberswick, 11 June 1985, R. Crossley

TM 07,36,46,47 TL 77 [12]

flavicollis (Meigen, 1824) - Chillesford, 10 July 1953, E.C.M. Fonseca TL 68

TM 07,25,35,45,49 [10]

thalhammeri Lichtwardt, 1913 - Potters Bridge, Reydon, 2 May 1988, C.M. Drake TM 47 [1]

vaillanti Brunhes, 1987 - Redgrave and Lopham Fen, 26 June 2010, J. Woodward TM 07 [1]

AUSTRALACHALCUS Pollet, 2005

melanotrichus (Mik, 1879) - Lakenheath, June 1907, G.H. Verrall TL 78 [1]

no recent records

DIAPHORINAE

ARGYRA Macquart, 1834

argentina (Meigen, 1824) - West Stow, June 1913, C.G. Nurse TL 87,98

TM 26,35,46 [10]

argyria (Meigen, 1824) - Monk Soham, 27 May 1914, C. Morley TL 77,95

TM 04,07,26,27,36,39,46 [11]

57 SUFFOLK
Trans. Suffolk Nat. Soc. 58 (2022)

diaphana (Fabricius, 1775) - Lowestoft, June 1881, G.H. Verrall TL 67,84

TM 07,13,17,24,26,27,28,34,35,36,37,38,46,47,49,57,58,59 [29]

elongata (Zetterstedt, 1843) - Redgrave and Lopham Fen, 1978-1985, P. Withers

TM 07 [8]

ilonae Gosseries, 1988 - Timworth, 21 September 1915, C.G. Nurse TL 86 TM 03 [2]

leucocephala (Meigen, 1824) - Monk Soham, 20 June 1910, C. Morley

TL 68,77,86,87,95 TM 07,13,26,35,36,46,47 [21]

perplexa Becker, 1918 - Barnby Broad, 7 July 1993, M.A. & L. Howe TM 07,46,49 [8]

vestita (Wiedemann, 1817 - Timworth, 9 July 1912, C.G. Nurse TL 78,86,97

TM 07,25,28,46,47,57,59 [30]

CHRYSOTUS Meigen, 1824

blepharosceles Kowarz, 1874 - Timworth, 6 July 1913, C.G. Nurse TL 78,86

TM 03,46,49 [5]

cilipes Meigen, 1824 - Benacre, 8 August 1979, A.G. Irwin TL 67,78,88,97,98

TM 07,27,32,46,47,58 [38]

cupreus (Macquart, 1827) - Newmarket, 1850, G.H. Verrall TL 66,86 TM 07,26,46 [9]

femoratus Zetterstedt, 1843 - Freston, 2 July 1904, C. Morley TL 77,78,86,88

TM 07,13,47 [13]

gramineus (Fallén, 1823) - Brandon, 28 September 1907, C. Morley

TL 67,78,86,87,95,97 TM 05,07,14,16,17,27,28,35,36,37,38,46,47,48,49,59 [71]

laesus (Wiedemann, 1817) - Tuddenham, July 1913, C.G. Nurse TL 77,78,86,88

TM 46 [10]

neglectus (Wiedemann, 1817) - Southwold, 5 August 1908, C. Morley

TL 67,77,78,87,88 TM 07,28,35,47,57 [45]

palustris Verrall, 1876 - Letheringham, 15 August 1918, C. Morley TM 25,26,46,47 [5]

pulchellus Kowarz, 1874 -Theberton, 10 July 1900, C. Morley TL 77 TM 35,46,57 [4]

no recent records

suavis Loew, 1857 - Lakenheath Warren, 13 July 2003, J. Cole TL 78 [1]

DIAPHORUS Meigen, 1824

oculatus (Fallén, 1823) - Monk Soham, 4 August 1905, C. Morley TM 05,26,35,59 [4]

DOLICHOPODINAE

DOLICHOPUS Latreille, 1796

Subgenus DOLICHOPUS sensu stricto

acuticornis Wiedemann, 1817 - Sizewell, August 2007, A. Godfrey TM 46 [1]

agilis Meigen, 1824 - West Stow, 18 July 2002, I. Perry TL 67,77,78,87 TM 47 [8]

andalusiacus Strobl, 1899 - Brandon, 22 June 1914, C. Morley TL 78 [1]

no recent records

atratus Meigen, 1824 - Brandon, 23 June 1909, C. Morley TL 78 TM 46,47 [9]

atripes Meigen, 1824 - Walberswick, 1981, M. Hadley TM 47 [5]

brevipennis Meigen, 1824 - Pashford Poors Fen, Lakenheath, 24 June 1988, A.P. Foster & D.A. Proctor TL 78 TM 17,27,28,46,47,49,59 [17] earlier records without specific details

Trans. Suffolk Nat. Soc. 58 (2022) Suffolk Natural History, Vol. 58 58

DIPTERA CHECKLIST

caligatus Wahlberg, 1850 - Barnby Broad, 7 July 1993, M.A. & L. Howe TM 49 [1]

campestris Meigen, 1824 - Brandon, 22 June 1914, C. Morley TL 77,78

TM 04,07,45,46,47,49.57 [20]

claviger Stannius, 1831 - Fritton, June 1881, G.H. Verrall TL 67,68,76,77,78,87,88

TM 03,07,15,49 [26]

clavipes Haliday, 1832 - Southwold, 12 July 1887, C. Morley TL 87 TM 44,45,46,57 [7]

discifer Stannius, 1831 - Ipswich, 11 June 1897, C. Morley TL 77,78

TM 14,16,26,34,35,36,44,45,46,47,48 [43]

excisus Loew, 1859 - Sizewell, July 2007, A. Godfrey TM 46,47 [4]

festivus Haliday, 1832 - Timworth, 2 July 1913, C.G. Nurse TL 75,86,94,95,96

TM 03,04,36,37,38,46,47,48,49 [25]

griseipennis Stannius, 1831 - Southwold, 5 July 1908, C. Morley

TM 06,07,13,26,27,34,36,44,46,47,58 [17]

laticola Verrall, 1904 - Tuddenham Fen, 20 May 1904, C. Morley TL 77 TM 46,47 [11]

latilimbatus Macquart, 1827 - Tuddenham Fen, August 1905, C. Morley

TL 67,77,83,97,98 TM 03,07,27,37,38,46 [26]

latipennis Fallén, 1823 - Aldeburgh, 1848, G.H. Verrall TM 45,57 [3] no recent records

lepidus Staeger, 1842 - Tuddenham, 25 June 1909, C. Morley TL 77 TM 28,46,47 [5]

linearis Meigen, 1824 - Pashford Poors Fen, Lakenheath, 4 July 1995, I. Perry TL 78

TM 46 [2]

longicornis Stannius, 1831 - Southwold, 28 July 1900, C. Morley TL 77,78,87

TM 15,29,45,59 [10]

longitarsis Stannius, 1831 - West Stow, 16 August 1913, C.G. Nurse TL 87,97,98

TM 46,47,59 [17]

migrans Zetterstedt, 1843 - Barton Mills, 7 July 1905, G.H. Verrall TL 77,78,87,88 [39]

nitidus Fallén, 1823 - Walberswick, 4 July 2012, P.J. Vincent TM 47 [1]

notatus Staeger, 1842 - Barnby Broad, 12 August 1908, C. Morley TL 77,78

TM 47,48,57 [14]

nubilus Meigen, 1824 - Tuddenham Fen, 26 July 1880, G.H. Verrall TL 68,97

TM 07,14,34,44,46,47,49,57,58 [55]

pennatus Meigen, 1824 - Tostock, May 1900, W.H. Tuck TL 68,78,96,97

TM 07,24,28,35,46,48,49,56 [30]

picipes Meigen, 1824 - Foxhall Marshes, 29 May 1897, C. Morley TL 77,78,95

TM 07,24,46,47,48,49 [28]

planitarsis Fallén, 1823 - Tuddenham Fen, 19 May 1904, C. Morley TL 77 TM 46 [5]

plumipes (Scopoli, 1763) - Oulton Broad, June 1902, C. Morley TL 78,96,98

TM 07,14,24,26,27,28,34,36,38,39,44,45,46,47,49,57,59 [93]

plumitarsis Fallén, 1823 - Pashford Poors Fen, Lakenheath, 24 June 1988, A. Foster & D. Proctor TL 78 [3]

popularis Wiedemann, 1817 - Tuddenham Fen, 5 May 1916, C. Morley

TL 68,75,77,78,88,97 TM 04,05,07,13,35,46,47,57 [42]

sabinus Haliday, 1838 - Lowestoft, June 1881, G.H. Verrall TM 44,47,48,57,58,59 [19]

59 SUFFOLK
Trans. Suffolk Nat. Soc. 58 (2022)

signatus Meigen, 1824 - Foxhall, 1894, C. Morley TM 14,24,47,48,59 [6]

signifer Haliday, 1838 - Walberswick, 26 June 2001, I. Perry TM 34,47 [2]

simplex Meigen, 1824 - Henstead Marshes, 12 June 1901, C. Morley TL 68,77,78,95

TM 07,46,48,49,58,59 [15]

strigipes Verrall, 1875 - Flatford, 16 July 1951, L. Parmenter

TM 03,14,25,35,44,45,46,47 [34]

subpennatus d'Assis-Fonseca, 1976 - Walberswick, July 2010, P.J. Vincent TM 47 [1]

trivialis Haliday, 1832 - Brandon, 22 June 1914, C. Morley TL 75,76,77,78,86,87

TM 27,28,35,36,46,47,48,49 [29]

ungulatus (Linnaeus, 1758) - Ipswich, 1 June 1897, C. Morley TL 67,77,78,86,87,88,98

TM 03,04,05,07,13,14,24,25,27,28,35,36,46,47,49,57,58 [125] see photo p. iv

urbanus Meigen, 1824 - Fritton, June 1881, G.H. Verrall TL 78

TM 07,24,46,47,57,59 [21]

vitripennis Meigen, 1824 - Westleton Heath, 15 May 2016, P.J. Vincent TM 47 [1]

wahlbergi Zetterstedt, 1843 - Letheringham, 6 August 1918, C. Morley TL 95

TM 05,06,07,25,27,46,95 [16]

Subgenus MACRODOLICHOPUS Stackelberg, 1933

diadema Haliday, 1832 - Lowestoft, June 1881, G.H. Verrall

TM 38,44,45,46,47,57,58,59 [37]

ETHIROMYIA Brooks in Brooks & Wheeler, 2005

chalybea (Wiedemann, 1817) - Brandon, 20 June 1914, C. Morley TL 78,97

TM 05,07, 46,47 [13]

GYMNOPTERNUS Loew, 1857

aerosus (Fallén, 1823) - Brandon, 23 June 1909, C. Morley TL 78,97

TM 07,27,36,38,45,46,47,58,59 [59]

assimilis (Staeger, 1842) - Brandon, 25 August 1906, C. Morley TL 68,87

TM 03,27,35,46,47 [22]

blankaartensis (Pollet, 1990) - Market Weston Fen, 8 July 1993, C.M. Drake

TL 97,98 TM 07,47 [9]

brevicornis (Staeger, 1842) - Redgrave and Lopham Fen, 1978-1985, P. Withers

TM 07 [1]

celer (Meigen, 1824) - West Stow, 18 June 1913, C.G. Nurse TL 78,87 TM 07,46 [8]

cupreus (Fallén, 1823) - Henstead Marshes, 2 June 1905, C. Morley TL 68,77,97

TM 07,36,46,47,57 [49]

metallicus (Stannius, 1831) - Fritton, 28 July 1881, G.H. Verrall TL 68,78,97,98

TM 05,07,46,47 [21]

silvestris (Pollet, 1990) - Market Weston Fen, 8 July 1993, C.M. Drake TL 78,97 [3]

HERCOSTOMUS Loew, 1857

germanus (Wiedemann, 1817) - Foxhole Heath, Eriswell, 30 July 1982, B. Ely TL 77

TM 37,38,46 [4] earlier records without specific details

gracilis (Stannius, 1831) - Tuddenham, 1850, G.H. Verrall TL 67,77,86,87,88,98

TM 45,46 [21]

Trans. Suffolk Nat. Soc. 58 (2022) Suffolk Natural History, Vol. 58 60

SUFFOLK DIPTERA CHECKLIST

nanus (Macquart, 1827) - Fritton, June 1881, G.H. Verrall TL 68,86,87

TM 27,46,47,49 [14]

nigripennis (Fallén, 1823) - Henstead Marshes, 2 June 1905, C. Morley

TL 67,77,88,97,98 TM 35,46,47,48 [29]

nigriplantis (Stannius, 1831) - Walberswick, July 2010, P.J. Vincent TL 07 TM 47 [2]

parvilamellatus (Macquart, 1827) - Staverton, 4 June 1931, C. Morley TL 95 TM 35 [2]

plagiatus (Loew, 1857) - Tuddenham, 1870, G.H. Verrall TL 77,97 TM 07,35,46,47 [15]

rothi (Zetterstedt, 1859) - Pashford Poors Fen, Lakenheath, 29 July 1995, I. Perry

TL 78 [1]

verbekei Pollet, 1993 - Barton Mills, 17 July 1987, P.J. Hodge TL 77 [1]

ORTOCHILE Latreille, 1809

nigrocoerulea Latreille, 1809 - Flatford, 14 July 1951, unknown TM 03 [1]

POECILOBOTHRUS Mik, 1878

chrysozygos (Wiedemann, 1817) - Newmarket, 1875, G.H. Verrall

TL 66,68,77,78,97,98 TM 07,35,46,58,59 [51]

ducalis (Loew, 1857) - Butley Ferry, 1 August 1939, C. Morley TM 07,34,45 [3]

nobilitatus (Linnaeus, 1767) - Barnby Broad, 24 July 1899, C. Morley TL 83,86

TM 05,06,14,15,23,24,28,34,36,37,46,48,49 [43]

principalis (Loew, 1861) - Orford, July 1908, J.J.F.X. King TM 07,44,45,46,47 [11]

SYBISTROMA Meigen, 1824

crinipes Staeger, 1842 - Weston Fen, 25 May 2010, I. Perry TL 97 TM 46 [3]

discipes (Germar, 1821) - Newmarket, date not given, G.H. Verrall TL 66 [1]

obscurellum (Fallén, 1823) - Redgrave and Lopham Fen, 1978-1985, P. Withers

TL 84,87,98 TM 05,06,07,46,47,49 [13]

TACHYTRECHUS Haliday in Walker, 1851

notatus (Stannius, 1831) - Eriswell, 26 July 1897, C. Morley TL 77,87 TM 47 [3]

HYDROPHORINAE

APHROSYLUS Haliday in Walker, 1851

mitis Verrall, 1912 - Woodbridge, 30 June 1907, G.H. Verrall TM 33 [1] no recent records

HYDROPHORUS Fallén, 1823

balticus (Meigen, 1824) - Alderton, 19 July 1899, C. Morley TL 77,78

TM 07,36,46,47,49,59 [11]

bipunctatus (Lehmann, 1822) - Market Weston Fen, 27 July 1996, I. Perry TL 97

TM 46 [2]

litoreus Fallén, 1823 - Timworth, 11 August 1915, C.G. Nurse TL 86 TM 34,46 [3]

oceanus (Macquart, 1838) - Aldeburgh, 1905, G.H. Verrall

TM 13,37,44,45,46,47,48,57 [32]

praecox (Lehmann, 1822) - Felixstowe, 6 May 1897, C. Morley

TM 33,44,46,47,57,58 [28]

61
Trans. Suffolk Nat. Soc. 58 (2022)

LIANCALUS Loew, 1857

virens (Scopoli, 1763) - Ipswich, 27 December 2013, M. Cooper TM 14 [1]

MACHAERIUM Haliday, 1832

maritimae Haliday, 1832 - Pin Mill, Chelmondiston, 24 June 1901, C. Morley

TM 23,44,45,47,57 [15]

ORTHOCERATIUM Schrank, 1803

sabulosum (Becker, 1907) - Boyton, 27 August 1907, G.H. Verrall

TM 34,37,45,47,57 [5]

SCELLUS Loew, 1857

notatus (Fabricius, 1781) - Southwold, 1 September 1900, C. Morley TL 95,98

TM 04,13,14,28,33,44,49 [11]

THINOPHILUS Wahlberg, 1844

flavipalpis (Zetterstedt, 1843) - Orford Ness, 1947, L. Parmenter TM 44,47,48 [16]

ruficornis (Haliday, 1838) - Walberswick, 4 August 1982, D.A. Smith

TM 13,44,45,46,47,57 [19]

MEDETERINAE

MEDETERA Fischer von Waldheim, 1819

abstrusa Thuneberg, 1955 - Ampton, 22 June 1915, C.G. Nurse TL 86,87 [2]

ambigua (Zetterstedt, 1843) - Newmarket, 16 June 1940, J.E. Collin TL 66,77,78,88 [7]

dendrobaena Kowarz, 1877 - Wangford Warren, 20 August 1977, A.G. Irwin

TL 77,78,87,88 TM 24 [7]

diadema (Linnaeus, 1767) - Timworth, 25 July 1912, C.G. Nurse TL 77,78,86 [4]

flavipes Meigen, 1824 - Newmarket, July 1885, J.E. Collin TL 66,67,78 [6]

inspissata Collin, 1952 - Newmarket, 16 May 1920, J.E. Collin TL 66 [2]

no recent records

jacula (Fallén, 1823) - Tuddenham Fen, August 1905, C. Morley TL 77,78,88

TM 07,25,36,38,59 [21]

jugalis Collin, 1941 - Barton Mills, 1848, G.H. Verrall TL 77 [1] no recent records

micacea Loew, 1857 - Orford, 24 June 1908, J.J.F.X. King TL 67,77,78,88

TM 03,07,35,44,47,59 [47]

nitida (Macquart, 1834) - Redgrave and Lopham Fen, 1978-1985, P. Withers

TM 07,38,48 [3]

obscura (Zetterstedt, 1838) - West Stow, 1 April 1991, I. Perry TL 87 [1]

pallipes (Zetterstedt, 1843) - Elveden, 6 July 2006, D.J. Gibbs TL 88,95 TM 38 [4]

parenti Stackelberg, 1925 - Elveden, 27 July 2006, D.J. Gibbs TL 88 [1]

petrophila Kowarz, 1877 - Minsmere, 13 October 1995, C.E. Dyte TM 46 [1]

petrophiloides Parent, 1925 - Lakenheath, 21 June 1992, C.M. Drake TL 78,86

TM 47,58 [5]

pinicola Kowarz, 1877 - Newmarket, 16 May 1920, J.E. Collin TL 66 [1]

no recent records

Trans. Suffolk Nat. Soc. 58 (2022)
History, Vol. 58 62
Suffolk Natural

DIPTERA CHECKLIST

saxatilis Collin, 1941 - Covehithe, 9 August 1986, D.A. Smith TL 67,77,78,88

TM 07,15,28,34,35,46,47,57,58 [45]

tristis (Zetterstedt, 1838) - Cavenham Heath, 1988, I. Perry TL 77 [1]

truncorum Meigen, 1824 - Monk Soham, 30 July 1905, C. Morley TL 67,77,86,88,95

TM 05,16,17,25,26,27,36,38,45,46,47,57 [68]

SYSTENUS Loew, 1857

leucurus Loew, 1859 - Ickworth, 1 October 2004, I. Perry TL 86,87 [2]

mallochi MacGowan, 1997 - Barton Mills, 7 June 1909, J.E. Collin TL 77 [2]

pallipes (von Roser, 1840) - Barton Mills, 1903, G.H. Verrall TL 77,86 [4]

scholtzii (Loew, 1850) - Tuddenham Heath, 12 June 1995, I. Perry TL 77,87 [2]

THRYPTICUS Gerstäcker, 1864

bellus Loew, 1869 - Barton Mills, 11 September 1999, I. Perry TL 77 TM 36,46,48 [4]

divisus (Strobl, 1880) - Walberswick, 15 July 2003, R. Crossley TM 47 [1]

laetus Verrall, 1912 - Flatford, 25 June 2012, C.M. Drake TM 03 [1]

nigricauda Wood, 1913 - Sizewell, July 2007, A. Godfrey TM 46 [1]

MICROPHORINAE

MICROPHOR Macquart, 1827

anomalus (Meigen, 1824) - Orford, 1908, G.H. Verrall TL 68 TM 07,44 [3]

crassipes Macquart, 1827 - Mettingham, 23 July 1977, D.A. Smith TL 95 TM 04,05,27,35,36 [12]

holosericeus (Meigen, 1804) - Bawdsey, 11 June 1983, M.W. Hanson

TL 78,86,88,95 TM 33 [9]

NEURIGONINAE

NEURIGONA Rondani, 1856

pallida (Fallén, 1823) - Ampton, 25 June 1906, C.G. Nurse TL 78,87,95 TM 46 [6]

quadrifasciata (Fabricius, 1781) - Ampton, 11 June 1913, C.G. Nurse TL 77,87,88,97

TM 07,46,47 [16]

suturalis (Fallén, 1823 - West Stow, 12 July 1989, I. Perry TL 78,86,87 TM 07 [5]

RHAPHIINAE

RHAPHIUM Meigen, 1803

antennatum (Carlier, 1835) - Minsmere, August 2004, D.J. Gibbs TM 46 [1] earlier records without details

appendiculatum Zetterstedt, 1849 - Southwold, 29 May 1905, C. Morley

TL 86,97,98 TM 07,26,27,28,35,46,47,49,57 [17]

auctum Loew, 1857 - Reydon, 26 September 1928, C. Morley TL 97 TM 47,57 [6]

brevicorne Curtis, 1835 - Staverton, 26 August 1917, C. Morley TM 35,49,57 [4]

no recent records

caliginosum Meigen, 1824 - Ickworth, 24 May 1988, D.K. Clements TL 75,86,95,97

TM 03,05,07,23,27,46,47 [17]

commune (Meigen, 1824) - Timworth, 8 June 1913, C.G. Nurse TL 86 TM 05 [4]

63 SUFFOLK
Trans. Suffolk Nat. Soc. 58 (2022)

consobrinum Zetterstedt, 1843 - Wallberswick, 4 August 1982, D.A. Smith

TM 44,45,47,57,58 [18]

crassipes (Meigen, 1824) - Newbourne Springs, 22 May 1999, P.R. Harvey TL 97

TM 24 [4]

fasciatum Meigen, 1824 - Walberswick, 15 June 1988, A.P. Foster & D.A. Proctor

TL 77 TM 07,47 [7]

lanceolatum Loew, 1850 - Beck Row, 10 July 2012, A.G. Irwin TL 67 [1]

monotrichum Loew, 1850 - Southwold, 29 May 1905, C. Morley TL 97

TM 07,46,47,5759 [8]

patulum (Raddatz, 1873) - Homersfield, 14 August 1986, P. Withers TM 28 [1]

SCIAPODINAE

Chrysosomatinae

SCIAPUS Zeller, 1842.

contristans (Wiedemann, 1817) - Boyton, 10 July 1908, J.W. Yerbury

TL 67,77,86,87,88,97 TM 14,34,45,46,47,57 [18]

laetus (Meigen, 1838) - Woodbridge, 30 August 1897, G.H. Verrall

TM 25,33,35,44,45,46,47 [16]

longulus (Fallén, 1823) - Lakenheath, August 1974, J.W. Ismay

TL 66,68,76,78,88,97 TM 07,16,35,46,49,58 [14]

platypterus (Fabricius, 1805) - Redgrave and Lopham Fen, 1978-1985, P. Withers

TL 65,67,77,86,87,88,95,97 TM 05,06,07,17,27,35,36,46,47,48,49,58 [71]

wiedemanni (Fallén, 1823) - Felsham Hall Wood, 11 June 1990, B.R. Laurence

TL 77,78,86,88,95 TM 07,45,47,58 [32]

SYMPYCNINAE

ANEPSIOMYIA Bezzi, 1902

flaviventris (Meigen, 1824) - Walberswick, 7 July 1993, C.M. Drake TL 87,97,98

TM 07,46,47 [9]

CAMPSICNEMUS Haliday in Walker, 1851

armatus (Zetterstedt, 1849) - Lowestoft, 29 June 1881, G.H. Verrall

TM 34,46,47,49,57,58,59 [54]

curvipes (Fallén, 1823) - Westerfield, 5 April 1895, C. Morley

TL 68,75,77,78,84,86,88,97 TM 05,07,14,26,27,28,35,36,37,46,47,48,49 [68]

loripes (Haliday, 1832) - Walberswick, July 2010, P.J. Vincent TM 45,47 [4]

magius (Loew, 1845) - Bawdsey, 9 July 1894, G.H. Verrall TM 34,45,46,47 [6]

picticornis (Zetterstedt, 1843) - Timworth, 10 April 1916, C.G. Nurse TL 68,77,78,86

TM 07,27,46,47,57,58 [20]

pumilio (Zetterstedt, 1843) - Brandon, 10 July 1877, G.H. Verrall TL 78 [1] no recent records

pusillus (Meigen, 1824) - Market Weston Fen, 27 July 1996 TL 97 TM 07,47 [8]

scambus (Fallén, 1823) - Sproughton, 5 April 1897, C. Morley TL 68,75,77,78,97

TM 04,05,07,14,45,46,47,48 [54]

Trans. Suffolk Nat. Soc. 58 (2022)
64
Suffolk Natural History, Vol. 58

DIPTERA CHECKLIST

CHRYSOTIMUS Haliday in Loew, 1857

flaviventris (von Roser, 1840) - Orford, 1908, J.J.F.X. King TL 87,95 TM 45,58 [8]

molliculus (Fallén, 1823) - Brandon, 10 July 1877, G.H. Verrall

TL 67,77,78,86,87,88,97 TM 07,13,45,46,58 [52]

LAMPROCHROMUS Mik, 1878

bifasciatus (Macquart, 1827) - Sizewell, July 2007, A. Godfrey TL 97 TM 08,46 [5]

kowarzi Negrobov & Chalaja, 1988 - Butley, 11 July 1908, G.H. Verrall TM 35,47 [5]

MICROMORPHUS Mik, 1878

albipes (Zetterstedt, 1843) - Redgrave and Lopham Fen, 10 June 2000, C.M. Drake

TM 07,08,27,46,47 [14]

SYMPYCNUS Loew, 1857

aeneicoxa (Meigen, 1824) - Southwold, 19 September 1913, C. Morley TL 87,97

TM 07,57,59 [7]

pulicarius (Fallén, 1823) - Southwold, 21 September 1920, C. Morley TL 78,86,88

TM 07,24,27,28,33,35,45,46,47,49,57,58 [84]

septentrionalis Pollet, Persson, Bøggild & Crossley, 2015 - Walberswick, 15 July 2003, R. Crossley TM 47 [1]

spiculatus Gerstäcker, 1864 - Mildenhall, 25 September 1907, C. Morley TL 77,78

TM 46,57 [4] no recent records

SYNTORMON Loew, 1857

aulicus (Meigen, 1824) - Barton Mills, 4 June 1916, C. Morley TL 77,84 TM 46,59 [4]

bicolorellus (Zetterstedt, 1843) - Ramsey Wood, 17 July 2003, P.J. Chandler

TM 04,46 [3]

denticulatus (Zetterstedt, 1843) - Ampton, 27 February 1913, C.G. Nurse

TL 67,78,87,97 TM 03,05,07,08,27,35,46,47,48,49 [33]

filiger Verrall, 1912 - Woodbridge, 25 August 1907, G.H. Verrall TM 25,45 [2] no recent records

fuscipes (von Roser, 1840) - Cavenham heath, 1988, I. Perry TL 77 [1]

macula Parent, 1927 - Walberswick, 11 May 2005, D.J. Gibbs TM 47 [1]

mikii Strobl, 1899 - Minsmere, 13 July 2004, D.J. Gibbs TM 46,47 [4]

monilis (Haliday in Walker, 1851) - Southwold, 29 May 1905, C. Morley TM 47,57 [8]

pallipes (Fabricius, 1794) - Southwold, 24 May 1905, C. Morley TL 77,86,97

TM 23,34,35,38,44,45,46,47,57,58 [77]

pseudospicatus Strobl, 1899 - Flatford, 16 July 1951, L. Parmenter TM 03,46 47 [3]

pumilus (Meigen, 1824) - Southwold, 29 May 1905, C. Morley TL 78,97

TM 07,17,27,28,35,39,46,47,57,58 [26]

submonilis Negrobov, 1975 - Minsmere, 29 May 2017, P.J. Vincent TM 46 [1]

sulcipes (Meigen, 1824) - Ipswich, 31 May 1900, C. Morley TM 07,14,57 [3]

tarsatus (Fallén, 1823) - Walberswick, July 2010, P.J. Vincent TM 47 [1]

zelleri (Loew, 1850) - Walberswick, 8 September 1928, C. Morley TL 87 TM 47 [2]

65 SUFFOLK
Trans. Suffolk Nat. Soc. 58 (2022)

TELMATURGUS Mik, 1874

tumidulus (Raddatz, 1873) - Walberswick, 1 June 1988, I. McClean TM 47 [3]

TEUCHOPHORUS Loew, 1857

calcaratus (Macquart, 1827) - Dodds Wood, Benhall, 26 June 2017, P.J. Vincent

TM 36 [1]

monacanthus Loew, 1859 - Walberswick, July 2010, P.J. Vincent TM 47 [3]

nigricosta (von Roser, 1840) - Dodnash Wood, East Bergholt, 1953, L. Parmenter

TM 04,13,27,36 [4]

simplex Mik, 1881 - Thelnetham Fen, 8 July 1993, C.M. Drake TL 84,98 TM 07,27 [4]

spinigerellus (Zetterstedt, 1843) - Southwold, 2 August 1982, D.A. Smith TL 97

TM 07,44,46,47,57 [27]

XANTHOCHLORUS Loew, 1857

galbanus Chandler & Negrobov, 2008 - Tuddenham Heath, 14 August 1979, Burns, Hammond, Hutson & Huxley TL 67,77,86,87,88 TM 45,46 [37]

ornatus (Haliday, 1832) - Fritton, June 1881, G.H. Verrall TL 67,77,78,86,88,95

TM 07,15,33,45,46,47 [47]

tenellus (Wiedemann, 1817) - Brandon, 8 July 1877, G.H. Verrall TL 66,77,78,87,88

TM 07,26,46 [32]

Peter Vincent

Pennyfields, Rectory Road, Middleton, Suffolk. IP17 3NW

Trans. Suffolk Nat. Soc. 58 (2022) Suffolk
History, Vol. 58 66
Natural

Turn static files into dynamic content formats.

Create a flipbook
Issuu converts static files into: digital portfolios, online yearbooks, online catalogs, digital photo albums and more. Sign up and create your flipbook.