SubTel Forum Issue #23 - Defense & Non-traditional Cable Systems

Page 1


Submarine Telecoms Forum is published bi-monthly by WFN Strategies, L.L.C. The publication may not be reproduced or transmitted in any form, in whole or in part, without the permission of the publishers.

Submarine Telecoms Forum is an independent commercial publication, serving as a freely accessible forum for professionals in industries connected with submarine optical fibre technologies and techniques.

Liability: while every care is taken in preparation of this publication, the publishers cannot be held responsible for the accuracy of the information herein, or any errors which may occur in advertising or editorial content, or any consequence arising from any errors or omissions.

The publisher cannot be held responsible for any views expressed by contributors, and the editor reserves the right to edit any advertising or editorial material submitted for publication.

© WFN Strategies L.L.C., 2005

Contributions are welcomed. Please forward to the Managing Editor: Wayne F. Nielsen, WFN Strategies, 19471 Youngs Cliff Road, Suite 100, Potomac Falls, Virginia 20165, USA.

Tel: +[1] 703 444-2527, Fax:+[1] 703 444-3047.

Email: wnielsen@wfnstrategies.com

General Advertising

Les Valentine

Tel: +[1] 281 531 7417

Email: lvalentine@wfnstrategies.com

Designed and produced by Unity Marketing

Exordium

November’s issue marks our fourth anniversary in publishing Submarine Telecoms Forum, and though November’s issue marks our in Submarine Telecoms Forum, and thngs still aren’t as rosy as they were in the “build it and they will come ” era, nor will they probably ever still aren’t as rosy as were in the “build it and will come” era, nor will ever be – things are still certainly much improved. be – are still much

The few principles we established in the beginning, we continue to hold dear. We promised then, and The we established in the we continue to hold dear. We then, and continue to promise you, our readers: continue to you, our readers:

1. That we will provide a wide range of ideas and issues;

1. That we will a wide range ideas and issues;

2.That we will seek to incite, entertain and provoke in a positive manner.

2.That we will seek to incite, entertain and in a manner.

In the last year, we continued specific monthly themes. This issue, our Defense & Non-traditional Cable

In the last year, we continued themes. This issue, our Defense & Non-traditional Cable Systems edition, provides some excellent insight into this complimentary, tangential submarine cable edition, some excellent into this submarine cable market.

We reveal responses to the recent STF / SubOptic Questionnaire, and in Executive Forum, NATO’s

We reveal responses to the recent STF / Questionnaire, and in Executive Forum, NATO’s Secretary General describes that organization’s future role in world hot spots. Kurt Ruderman discusses Secretary General describes that role in world hot spots. Kurt Ruderman discusses the scientific cables market, while Steve Lentz and Antoine Lecroart explain the upcoming NEPTUNE cables market, while Steve Lentz and Antoine Lecroart the NEPTUNE subsea cable project. John Hibbard invites industry participation at the upcoming PTC 2006. Geoff subsea cable John Hibbard invites at the PTC 2006. Ball describes the deployment of cabled, inline sensors, while the VENUS project is revealed. We begin Ball describes the cabled, inline sensors, while the VENUS is revealed. We the multi-part serialization by Bob Bannon and Doug Burnett of terrorism and cable infrastructure the serialization Bob Bannon and Burnett terrorism and cable concerns. Rob Munier suggests that cost, not technology pushes projects. Jean Devos returns with his concerns. Rob Munier suggests that cost, not technology pushes projects. Jean Devos returns with his ever-insightful observations, and of course, our ever popular “where in the world are all those pesky observations, and course, our ever “where in the world are all those cableships” is included as well. is included as well.

STF is not a perfect medium, and we have surely made our share of mistakes, but we continue to hope STF is not a medium, and we have made our share mistakes, but we continue to that in the long run we have helped our industry in some small way. that in the run we have our in some small way.

Good reading. Good

has entered into an arrangement with

Fairplay making available, complimentary to subscribers, comprehensive databases of commercial vessels (www.sea-web.org/), ports and companies (www.portguide.com). In order to qualify for a free trial of these services, contact LRFTrialOffer@SubTelForum.com.

FibraLink Jamaica Cable Laying to Begin in november

FibraLink Jamaica has announced that the installation of its new submarine cable system linking Jamaica to Dominican Republic. In Dominican Republic, FibraLink interconnects with ARCOS-1 for transit to Florida.

A synopsis of current news items from NewsNow, the weekly news feed available on the Submarine Telecoms Forum website.

A synopsis of current news items from NewsNow, the weekly news feed available on the Submarine Telecoms Forum website.

Alcatel to Supply Submarine Research Network

Alcatel has announced that it has signed a contract valued at approximately US 33 million dollars with the University of Victoria, Canada, to deploy an advanced submarine cable and data network for educational and oceanic research activities.

www.subtelforum.com/NewsNow/7_november_2005

Asia Netcom Prepares to Land EAC in Qingdao

Asia Netcom has announced that it will dramatically improve connectivity options and network performance for Korean companies looking to link up their Chinese offices and manufacturing facilities with the landing of its region-wide cable system, EAC, in the northern city of Qingdao.

www.subtelforum.com/NewsNow/7_november_2005

Avanex Announces Supply Agreement with Alcatel

Avanex Corporation has announced that it would enter into a supply agreement with Alcatel to be in effect from October 2005 through October 2007.

www.subtelforum.com/NewsNow/16_october_2005

CTC Acquires ROV

CTC Marine Projects’ associate company, European Contract Hire (ECH) has placed a contract with SMD Hydrovision for a 125hp, 2000m, work class ROV system, with an option for 3 more

www.subtelforum.com/NewsNow/7_november_2005

Dubai Holding Buys Share of Interoute

Interoute, owner and operator of what it says is Europe’s most densely connected voice and data network, has announced that it has secured a new strategic partner, Tecom, a United Arab Emirates telecom operator and member of Dubai Holding.

www.subtelforum.com/NewsNow/7_november_2005

Energis Architects Flexible and Multi-Service Backbone Network with Xtera’s Nu-Wave

Energis has selected Xtera Communications, Inc. as the multi-reach DWDM supplier for their next generation backbone network in the United Kingdom.

www.subtelforum.com/NewsNow/18_september_2005

www.subtelforum.com/NewsNow/9_october_2005

FUGRO PELAGOS, INC AWARDED 3-YEAR USACE IDIQ CONTRACT

Fugro Pelagos, Inc. (FPI) has successfully negotiated a contract with the United States Army Corps of Engineers (USACE), Mobile District to provide Surveying and Mapping Services in support of the Joint Airborne LIDAR Bathymetry Technical Center of Expertise (JALBTCX) Regional Coastal Mapping and Charting Program, as well as other USACE programs.

www.subtelforum.com/NewsNow/18_september_2005

Global Marine and NSW team win Caribbean contract

NSW (Norddeutsche Seekabelwerke), a world leader in the field of repeaterless fiber-optic submarine cable systems, has signed its first contract with Global Marine Systems Limited (Global Marine), which will cover the marine installation and support of the Grand Bahama to Bimini submarine network.

www.subtelforum.com/NewsNow/18_september_2005

Global Marine Completes Acquisition of SBSS Shareholding

Global Marine Systems Limited announced the completion of its acquisition of the shareholding in S.B Submarine Systems from Global Crossing.

www.subtelforum.com/NewsNow/18_september_2005

NEC Corporation (NEC) has announced that it has signed a turnkey contract with Sri Lanka Telecom (SLT) and Bharat Sanchar Nigam Limited (BSNL) in India for the supply of the Bharat Lanka Cable System.

www.subtelforum.com/NewsNow/23_october_2005

India-Sri Lanka Cable Announced

Bharat Sanchar Nigam Limited (BSNL) of India and Sri Lanka Telecom (SLT) have signed a Construction and Maintenance Agreement (C&MA) to build the Bharat-Lanka optical fiber submarine cable between India and Sri Lanka.

www.subtelforum.com/NewsNow/18_september_2005

KPN Picks Vendors for MPLS Network

Lucent Technologies and Juniper Networks, Inc. have announced a contract with Dutch telecom operator KPN to deploy the next part of KPN’s Internet Protocol (IP)/Multi Protocol Label Switching (MPLS) core network.

www.subtelforum.com/NewsNow/2_october_2005

Maldives-Sri Lanka Cable Announced

Dhiraagu has announced the signing of a Memorandum of Understanding with Sri Lanka Telecom for the implementation of an optical fiber submarine cable between Maldives and Sri Lanka. www.subtelforum.com/NewsNow/25_september_2005

NEC

Wins

Contract

for

Submarine

Cable

System

to Bridge India, Sri Lanka

New World Completes Sale, Announces Expansion

New World Network, the principal owner of the America’s Region Caribbean Optical-ring System (ARCOS), has announced it has completed the previously announced sale of the company to Columbus Communications Inc., and named Paul W. Scott as its new president and chief operating officer.

www.subtelforum.com/NewsNow/18_september_2005

Oregon-California Power Cable Under Consideration

Pacific Gas and Electric Company and Sea Breeze Pacific West Coast Cable, LP, have agreed to study the possible development of an undersea electric transmission line that would enhance power supplies in northern California by connecting the region with sources of low-cost and renewable electricity in the Pacific Northwest. www.subtelforum.com/NewsNow/7_november_2005

Phoenix to Build Science ROV For NOAA Phoenix

International was awarded a National Oceanic and Atmospheric Administration (NOAA) contract to design and build a new scientific Remotely Operated Vehicle (ROV) for NOAA’s Office of Ocean Exploration.

www.subtelforum.com/NewsNow/16_october_2005

Russian Carrier Picks Nortel for Network Upgrade

VimpelCom, one of Russia’s largest mobile communications operators, has selected Nortel as the equipment supplier for its next generation optical networks to support its wireless services.

www.subtelforum.com/NewsNow/2_october_2005

Stolt Leasing Cable Ship from Elettra

Stolt Offshore S.A. has announced that it had entered into an agreement with Elettra TLC SpA to charter the cable ship Pertinacia for a firm period of 6 years from January 2007, plus an additional three-year option.

www.subtelforum.com/NewsNow/9_october_2005

Teleglobe to Create Virtual POP in New York for Polish Carrier

Teleglobe International Holdings Ltd. has announced an agreement with Poland’s Exatel to create a virtual point of presence for the company in New York, using its Correspondent International Private Line (IPL) service.

www.subtelforum.com/NewsNow/9_october_2005

Tricom Presents on VN-HK Cable

Mr. Peter Landgren, CEO of Tricom Asia Limited, presented on the planned VN-HK Cable System.

www.subtelforum.com/NewsNow/2_october_2005

Tyco Awarded EAC Maintenance Contract

Tyco Telecommunications, a leading supplier of undersea fiber optic networks and marine services, today introduced its SEAHORSE Asia Pacific marine maintenance service.

www.subtelforum.com/NewsNow/16_october_2005

Tyco

Telecommunications Introduces New Generation of Dense-WDM Submarine Line Terminating

Equipment

Tyco Telecommunications recently introduced its breakthrough next generation of Submarine Line Terminating Equipment (SLTE). Named G3 SLTE (third generation of 10 Gb/s product), it is unlike its predecessors, which were targeted mainly at the long-haul submarine cable networks market.

www.subtelforum.com/NewsNow/7_november_2005

Second Maldives Cable Under Consideration

The Maldives have not been in the news very often in regards to submarine cables, but now the small island chain off the coast of India has not one, but two separate plans for submarine cables.

www.subtelforum.com/NewsNow/13_november_2005

Tyco Telecommunications’ Transoceanic Cable Ship Company Awarded Two Year Contract Extension

Transoceanic Cable Ship Company, Inc. (TCSC), a subsidiary of Tyco Telecommunications (US) Inc. and a premier undersea cable and marine services ship operator, announced the signing of a two-year contract extension with the 48 member companies that comprise the consortium of the Atlantic Cable Maintenance and Repair Agreement (ACMA).

www.subtelforum.com/NewsNow/25_september_2005

Vodafone Buys Share of Bharti Tele-Ventures

The world’s leading mobile telecommunications company, Vodafone Group Plc, has secured around 10% interest in Bharti Tele-Ventures Ltd. (BTVL), India’s largest private sector telecom company.

www.subtelforum.com/NewsNow/7_november_2005

Xtera Wins Contract for FLAG Atlantic Upgrade

Xtera, a developer of optical transport solutions, has announced that FLAG Telecom is purchasing additional Nu-Wave multi-reach DWDM equipment to respond to a 500-percent increase in orders for wavelength capacity on FLAG Atlantic-1 (FA-1), a multi-terabit/s optical submarine cable.

www.subtelforum.com/NewsNow/7_november_2005

WFN Strategies Certified with SBA 8(a) Status

WFN Strategies, a provider of telecoms engineering and marine procurement services, has been certified as a Participant in the 8(a) Business Development Program by the US Small Business Administration.

www.subtelforum.com/NewsNow/20_december_2005

China Netcom May Sell Stake in Asia Netcom

According to the South China Morning Post, China Netcom is considering selling its submarine cable operation Asia Netcom. Potential buyers include Telefonica, which recently acquired a strategic stake in China Netcom.

www.subtelforum.com/NewsNow/13_november_2005

WV Fiber Picks Hibernia Atlantic for Connection to LINX

Network services provider WV Fiber has selected Hibernia Atlantic’s trans-Atlantic transport network to provide two OC-48 level services from New York to London to directly connect with LINX, one of Europe’s largest network exchange points.

www.subtelforum.com/NewsNow/13_november_2005

Since 2001, Submarine Telecoms Forum has been the platform for discourse on sub marine telecom cable and network operations. Industry professionals provide editorial content from their own niche and focus. Each bi-monthly edition includes commentary and information on system and service provision, and issues critical to the industry.

Advertising Rates

Website Banners

Post your web linked banner to the home page, as well as News-Now sections of the Submarine Telecoms Forum website, where some 5000+ readers can come as often as every week to view the latest news feed, or our bi-monthly magazine.

Feature Section Sponsorship

Available at full-page advertisement rate, section sponsors are identified with a banner (link) at the beginning and end of the featured section. All advertising rates as at December 2003.

Advertising enquiries

Tel:

Fax: [+1] (281) 531

lvalentine@wfnstrategies.com

Submarine Telecoms

FORUM

500 m

Nexanswasthefirst tomanufactureand install384fiber submarinecable. Nexans hasqualifiedand installedtheirURC-1 cablefamilyforfiber countsupto384fibers.

1500 m

For further information, contact:

Telecom:

Vegard Larsen

Tel: + 47 22 88 62 21

E-mail: vegard-briggar. larsen@nexans.com

Oil & Gas:

Jon Seip

Tel: +47 22 88 66 22

E-mail: jon.seip@nexans.com

Nexans Norway AS P.O Box 6450 Etterstad, N-0605, Oslo Norway

Tel: + 47 22 88 61 00

Fax: + 47 22 88 61 01

US Contact:

Les Valentine

Tel. +1 281 578 6900

Fax: +1 281 578 6991

E-mail: les.valentine@nexans.com

Submarine Telecoms Industry Survey

Many thanks to those who found the time to respond to our industry survey cosponsored by SubOptic 2007. Congratulations to Fabian Vergara of Telecom Colombia, our lucky respondent winner of the 2005 CD edition of STF’s International Submarine Cable Systems Map.

4 How would you rate the content of News-Now and the STF website?

8 What would you like SubOptic 2007 to discuss relevant to marine services?

Comment:

New cable build trends

Matching supply with demand, i.e., no cable

Ships vs projects

Maintenance market

1

Which best describes you?

5 Would you like to see any particular changes in Submarine Telecoms Forum or News-Now, or other website informational services?

2

What best describes your business?

3 How would you rate the content of Submarine Telecoms Forum magazine?

6 If you attended SubOptic 2004, what aspect of the conference was most beneficial?

Comments:

Variety of content

Quality of participation

Networking opportunities

Connecting with people

7 Would a conference session on trends in the user community be of interest to you?

reationalization of cable maintenance

Environmental trends pertaining to installation

New recovery procedures

Realistic timing and prices

9 Is there a specific topic you would like to see addressed? A particular session? A particular speaker?

Comment:

Bandwidth pricing

Financial

Developing better relationships between cable industry and fishing industry

International politics about submarine cables out of service (pollution submarine)

New technologies and their commmercial impact

Future state of the art improvements

Edward Tian, CEO of China Netcom

10

What would you find the most stimulating and relevant topic to be discussed at a SubOptic 2007

Roundtable?

Comment:

Will there be any new contruction in the Atlantic?

Does bandwidth at local loop impact submarine cable demand and how?

A group of people not parroting the company line

Current state of the cable industry

New services supported for present and future systems and technologies

11

Are business conditions improving or getting worse?

Comment:

Much smaller budgets

Less customized consulting work

From CEO to Advisor

Now serious about doing something

Higher bandwidth requirements

Move away from leasing

Cost control & management

Capacity increases from voice services to data services, such as internet transport

15 How has the type of project you handle changed over the last three years?

Projects have often been linked to refinancing

Interest in regional markets greater

Smaller

More optimization and less “build and they will come”

More capacity for less cost

12

Are you optimistic or pessimistic about the future?

13

Does your current business performance indicate that we are still in a recession?

No change

16 In your opinion, what does the industry most need?

Stability

Worldwide investment in access infrastructure

Entrepreneurship, capital and competition

Decision making

Bandwidth heavy applications to use up capacity

Reduce the costs

14

How have client requirements changed over the last three years?

CALL FOR PAPERS

The International Cable Protection Committee (ICPC) is holding its next Plenary meeting in Vancouver from 16-18 May 2006 inclusive. The theme of this Plenary will be:

Submarine Cables: Diverse Applications / Common Goals

Presentations that address the following topics are invited:

· Regulatory Requirements in a Repair Emergency · Environmental Interaction

· Legal & Regulatory

Cable Protection

Evolving Uses

Abstracts must be submitted via email to plenary@iscpc.org no later than 28 February 2006. For more information about this Call for Papers and opportunities for exhibitors please visit the ICPC’s website at www.iscpc.org

Reprinted with the kind permission of Defence

EXECUTIVE FORUM

Jaap

de Hoop Scheffer, NATO Secretary General, talks to Gwyn Winfield of Defense International about

the developing role of NATO

GW: We are now in the situation where NATO is in Sudan, a scenario that would have been unthinkable five years ago. It is a dynamic situation there at the moment; while the African Union (AU) troops are being flown in, the killing would seem to have stopped mainly because most of the villages have been destroyed. With both NATO and the US performing airlift, how does NATO fit into the whole force mix?

HdS: NATO – and by this I don’t just mean the US; it includes many other allies as well – are working to a time schedule decided by the African Union. The moment that the battalions are ready, a number of allies – Brits, Americans and Dutch – will fly in the different battalions (eight in total) of the AU. The Nigerians went in first in Nigerian aircraft funded by the UK, and Americans are in the process of flying them in now. Between now and an unspecified number of weeks the eight battalions bringing the force up to strength will be brought in. The larger part of the airlift is being done by NATO, although a few are happening under the EU banner – but we shouldn’t be parochial and get into theology. I am interested in the practical support.

The second part is a UN sponsored MapEX, a map exercise where we have NATO people participating in Darfur. The third element leadership training of the AU, which is taking place as we speak in Nairobi where the AU has a centre of excellence – created with UK support.

GW: It is so much activity but there are problems, for example with the AU rules of engagement – they can do very little and are not organised. It is a case of closing the stable door after the horse has bolted; tens of thousands of people have been driven out already, so whatever you do the end result will not be very impressive. Couldn’t NATO do more?

HdS: I would answer yes, but as things stand NATO cannot and will not do more. It would mean a completely different situation and approach. There is no possibility of doing anything greater because the Security Council because it is deadlocked on Darfur. I have not been there, but what I heard from the AU is that where they are they are doing a good job. But the AU cannot do everything given their mandate and rules of engagement, but that does not mean that NATO can do more. We are doing what we have been asked to do by the AU.

Behind all this there is the mantra that for African problems you should seek African solutions – this is a test case for the AU. It is not up to NATO to take on a bigger role, unless the AU asks for it, and that would have to be put on the table and I don’t know what the reaction would be in this building. That is an “if”; it is a virtual rather than real scenario at the moment.

GW: How do the new NATO nations fit into Darfur? All the nations that you have mentioned have been “old” NATO using key enablers such as airlift, but the new nations lack these sorts of resources.

HdS: There is, in the whole NATO transformational process, the conversation about what are called the critical enablers. The comparison with other missions is a valid one, as part of the critical enabler discussion always involves strategic and tactical lift. The modern military may ask if there is a difference between strategic and tactical, so I just define them as strategic being over longer distances and tactical as in-theatre. When you bring it down to basics, this becomes “how many C17s does NATO have and how many C130s and C160s?” The new NATO allies, and you cannot blame them for this, are not in a position, yet, to participate fully when you talk about heavy lifting into Darfur. This does not mean that they don’t participate, as they have given political support to this operation.

You are right in saying that, for example with my countrymen, how can the Dutch participate? Not because they have C17s, but because they have two DC10 tankers which they can rearrange for troop transports. Why do the Americans participate? Well, they have C17s!

I have come out before and will do so again on the debate about transformation: NATO should own more critical enablers, perhaps on the basis of AWACs, on which nations can draw (and you can devise a system to do this). It is part of the common funding debate and they should be commonly funded. It is obvious that if the AU comes and says, “NATO, can you lift battalions into Darfur?” you can do two things. Firstly you can call on the nations that have strategic lift. Only the US and the UK own C17s, and I consider the C17 the standard strategic transporter, as the C5 is much too big. Secondly, you can call on nations that have C130’s and equivalents. These are key for NATO’s transformation process – the airlift, sealift and air-to-air refuelling. I don’t want to make a distinction between old and new NATO allies, as the new NATO

allies participate as much as they can – perhaps we might even see Ukraine coming in, not as an Ally but as a partner, because Ukraine have the Antonovs.

GW: This takes us back to the fact that many of NATO’s key enablers are held by the US, and with so many of the US’ assets tied down in Iraq it makes it difficult to operate without them. We are in a quiet period, in terms of warfighting, and if we were ever called into a hotter environment without the Americans there would be a capability gaps that couldn’t be filled by the Europeans – CSAR, SEAD, etc.

HdS: Let me focus on the enablers. We are not doing badly. We have been able, in a short time, to be able to come up with the critical enablers. As usual it is the US that has been able to participate in an important way with this Darfur effort, but we have a number of other allies. The Greeks, for instance, could operate under the NATO flag, but we are not in the driving seat and we should not want to be; that is the AU’s role. It might well be, when I meet President Konare in September at the UN, that we will focus on NATO-UN relations. When the battalions come up for rotation they may need more lift, not only from South Africa to Darfur but also intra-theatre. This point of critical enablers is an important one. We are making progress, and I hope at that at some stage we will have the A400M, which will not be a solution for all our problems, but does represent the progress we are making on airlift, air-to-air refuelling and sea lift. If you ask me whether it is enough, and just focus on airlift, then my answer would be no it is not enough. We should do more, but more also means that we should be more innovative in developing new concepts. How are we going to fund our operations, for example? And what consequence does that have?

If we look at Afghanistan, the nation that has Apache in its inventory and brings them into theatre pays for the helicopters and the principal costs lie where they fall. How long does this principal, which is a decades old NATO concept, remain relevant? It would seem to be partly relevant, but not as relevant as it was over the decades – with NATO operating in Afghanistan, Darfur, etc, we don’t know what the future will bring.

the advantages in this fourth generation conflict? What counter-terrorist work are you doing on the domestic level?

GW: There would seem to be a paradox. On the one hand national forces are overstretched due to NATO, and other, commitments. But at the same time there are attacks in a number of NATO ally capitals. How do NATO nations harness

HdS: Discussions have started – they started during my national career – about the blurring of the lines between external and internal security. That has a number of consequences as far as national policies in NATO allied capitals are concerned – Washington, London, De Haag, etc. NATO is not responsible for internal security in London – there is no direct NATO relationship. If you look at a set of practical measures, the ones that were decided in Istanbul last year, then they range from such things as protecting wide bodied aircraft from Manpads, CBRN protection – we have a CBRN battalion that has made the step from military to civil protection during the Athens Olympics – we’ve provided AWACS for high visibility events like the funeral of the pope and Euro 2004 in Portugal – and we are busy with force protection. We are very active in the identification of IEDs, always looking at where we can gain added value. In the EU you see direct consequences of the blurring of the line between external and internal security, but NATO has an important role to play.

Another practical example is in the political domain, I am travelling a lot through the Middle East through the framework of our Mediterranean dialogue with the North African countries and Israel and Jordan. In any conversations I have, with Mauritania last week or with Egypt in October, it is very much an issue that in our co-operation with those countries the fight against terrorists is an important point in our agenda. It is not we who ask for that – they do. Through our interlocuteurs they say, “Secretary General, we are interested in beefing up our dialogue with you, what are you doing against terrorists, what are you doing in force protection, what are you doing for helicopters against shoulder-launched missiles, what are you doing for wide bodied aircraft?”

GW: When the role of NATO in Afghanistan came up there was a hue and cry over out-of-area operations, yet this was absent for Iraq and Darfur. Is the issue of out-of-area operations even considered now, or is it so much dead theology?

HdS: There is no debate about out-of-area. There is a debate over role, for example in Afghanistan – what would NATO’s role be in a post bomb scenario, when the parliamentary process comes to an end, what will NATO’s role be in the international concert, together with other international organisations like the EU, the donors, the Karzai government. NATO is not just an executive agency, a

supplier of forces. If we were not involved in the political process, then public opinion would quickly erode. We are very much involved in the political process, be it in Afghanistan or Kosovo – perhaps we are not playing the first violin, but NATO is following the process and taking an active part. While there is no out of area discussion as such, the demands on NATO will remain high in the immediate to medium term future. In spite of this, NATO does not have the ambition because of a lack of financial and military means, to be the gendarmerie de monde or a NATO Globocop.

The notion that there could have been a NATO footprint in Africa! If we had sat here a year ago and discussed it, albeit our role is presently in logistics support, I would have said that that was a faraway notion – but it is not. So who can predict what will happen in the future. Let’s be fair and honest: I look at NATO’s inventory regularly – when we had difficulty filling gaps in AF, for example – and let no ally come to me and say that we have a shortage of C130s in the NATO inventory, because we don’t.

GW: If we can continue to focus on critical enablers. Some of the specialist areas that we are developing for NRF, such as CBRN, have important gaps in them. This is because there are not enough specialists out there to be able to fill the holes; components of NRF4, for example, are missing. Even in the flagship there are shortfalls…

HdS: Before we will be able to declare full operational capability, which will happen in summer next year, we can have a long, or short, discussion with our allies. But full operational capability means full operational capability, so I want to see all those enablers, including CBRN, filled.

You are right in saying that we are not there yet, but this also relates to the broader question of how we are going to fund the operations and missions and how we are going to fund the NRF. As long as the NRF is funded on its present basis, you will always have nations that say, “this is pretty expensive.” You will always have medium and smaller sized nations saying, “Secretary General, either we can participate in operations or we can take part in the NRF; we cannot do two things at the same time.” That doesn’t go for the big ones, but it does for the smaller. You’re right, we still need some critical deficiencies to be filled, but we have to do it, there is no other way.

GW: The challenge for some of the new NATO allies has not been just fielding the equipment, but fielding it in line with

NATO standards. Until they do, we will not be able to get full advantage from them. How is the roll-out of standardised equipment going?

HdS: It is developing well. There is progress, if you look at a critical element like communications, but full interoperability is much more difficult when you mention new NATO allies. I am the last one to blame them for this – when you see what type of equipment they had used. On critical elements, like communications and information, communication technology, we are making progress.

GW: Yet these new nations have thrown into sharp contrast the technology gap between the US and the rest of Europe. This was obvious in Iraq, where the UK, one of the more advanced European nations, was only just able to co-operate with their US NATO partner – typical problems being red force/ blue force tracker and IFF. This was between two of the most advanced nations, any major NATO deployment would show that the disparity is even greater elsewhere.

HdS: We still have a lot of ground to cover. We will now have blue force tracker in Kosovo – too late you might say. The technology gap has always been there, and it will always be there. An example of where we try to lessen the gap is in the area of NCW. We have ten allies participating in this process, including the UK, France and many others. I don’t have the illusion that we can bridge the technology gap, but I do think we can do better and we are doing better than we did, but there is a technology gap and we must bridge it wherever we can.

GW: Have the fundamental values of NATO changed? It is not ten years since Srebrenica which was a tragedy for the Dutch and for NATO. Could it happen again, and are we morally more prepared to act?

HdS: Srebrenica was something that I was deeply involved in –being a Dutch MP – but it was the moral failure of the international community, which is something other than NATO. It was a moral failure, but one must ask who the perpetrators of the aggression were. You and I both know the ones to blame are the Serbs who massacred nearly 8,000 men and boys in the aftermath of the takeover of the Srebrenica enclave, so lets agree that this is a moral failure of the international community. Bringing NATO into that equation is not entirely fair on NATO, but you and I know that NATO would have acted had there been agreement to act among major players. There wasn’t that agreement, and NIOT in the

Netherlands has written many pages about this; I’ve read them all and my conclusion is that my gut feeling was right – Srebrenica was a moral failure of the international community, rather than of NATO. That also goes for Rwanda – you cannot either bring Rwanda or Srebrenica’s massacres through a direct link to NATO. What NATO is doing, and has done, we will see. NATO has gone into Afghanistan, Kosovo and Darfur – that is the situation. They are trying the best they can to defend the moral values that have always been central to NATO.

GW: When you are talking about morals and Kosovo, the key point would seem to be that some countries have not done everything they could to bring in Mladic and Karadic…

HdS: I was in Belgrade last week and have been regularly to Sarajevo as well, and the case of Mladic and Karadic and the fact that they are still on the run is frustrating – there is no other word. It is a nagging question that they have not yet been arrested; history will tell, as it is easier said than proved, whether NATO allies have directly or indirectly been responsible for them being on the run. NATO is not going to enter in any PFP, with Serbia or BiH, before those two are behind bars and in de Haag. It is a question that haunts me, that it could be NATO as an alliance or NATO allies that are conspiring.

GW: At the same time the Milosevic trial just drags on and on, with no end in sight. Has this had the effect of winding down impetus?

HdS: There is no winding down in theatre, no winding down whatsoever! I address this in a very clear way. It is also clear that without assistance these two people can’t be on the run and hide. So they have assistance clearly. I don’t know where this assistance comes from, but the fact that Mladic had his army pension until very recently is unbearable as a thought and deed. There is a not a winding down and the people in the region, in Republica Srbska, Sarajevo and in Belgrade know where we stand. There is no winding down and if I saw it, or felt it, I would ensure that it was stopped because the morality of it is important

GW: One thing that is winding down is defence spending within the EU and this looks set to continue. Does there need to be a retrenchment of what NATO can do in order to suit the purse strings?

HdS: Defence spending is an important issue. I have been on

record many times and will repeat it, defence spending in NATO is too low. We have a few good exceptions like the US, French and Brits who are doing well, but there is a majority of allied nations who are underspending, who do not realise that if you want to restructure your defence forces, which many of them have to do – not only the new allies, but the old ones too – that before you see the profit of your efforts it will cost you money. Many governments seem to think that they can restructure and make savings at the same time, it doesn’t work like that.

I have to face reality, but if you see what the demands on NATO are we should have an adequate percentage of defence spending. It is not because nations are underspending, but there has to be a debate on funding our operations, missions and our transformational force par excellence – the NRF. The Prague mandate of the NRF is very wide, and I am sure that if the tsunami had happened closer to our shores that there would have been a call to send out the NRF, as humanitarian disasters are within its mandate. We need two kinds of discussions – what is the NRF and how are we going to fund the NRF. This comes back to the small- and medium-size nations needing to decide whether they fund operational missions or the NRF. This is something we should discuss. If I talk about the EU and their developing of the battlegoup concept, which is a good thing, and the need for dovetailing – commitments that the battlegroup could make to the NRF – then you have an interesting package of debate both in NATO and within the EU. How are we going to structure our crisis response forces – as the NRF should be ready in a matter five days? We can’t have all manner of parliamentary meetings. Parliaments should develop procedures, especially with the NRF, because they can’t have two weeks to organise hearings, they should have procedures to make things easier.

I am in favour of a more commonly funded approach to the NRF, and are we going for more common funding as far as the critical enablers are concerned. When we talk logistics, every nation has its own logistics footprint and I don’t think there is much use in continuing that system. We should find a more combined logistical combat support solution for operations – it is all transformational. I’m borrowing the phrase, but transformation is not an event but a process, and that is very relevant. I inherited this alliance from George Robertson who had done a lot on transformation and a lot on capabilities and I am just following his tracks, adding an internal reform process.

Scientific Submarine Cable Projects

Kurt Ruderman is

in Paris.

Last month, the University of Victoria in British Columbia awarded Alcatel Submarine Networks a $33-million dollar contract to supply and build the Canadian portion of an undersea system for scientific research that will mark a new phase in oceanography. The entire project, called NEPTUNE (North-east Pacific Time-series Undersea Network Experiments) will incorporate more than 3,000 km of submarine telecom cable when completed, making it the world’s largest undersea observatory.

Neptune will be operated by a consortium of U.S. and Canadian scientific institutions led by the University of Victoria in Canada and the University of Washington in the United States. The recent award to Alcatel follows years of planning by the organizations involved, and it will be the first in a new series of large-scale regional subsea-cabled observatories in North America and Europe. The NEPTUNE project will deploy equipment on the ocean floor for realtime oceanic monitoring and scientific experiments on the Juan de Fuca tectonic plate off the Pacific coast of North America.

In Europe, a European Union backed program called ESONET, which comprises 10 national projects, could use more than 5,000 km of fiberoptic submarine telecom cable. The North American and European projects also will need large amounts of custom-made hybrid cable (fiber and copper) to connect subsea equipment.

In Europe, scientists will communicate with each other using a pan-European network called GÉANT.

NEPTUNE and the regional subsea-cabled observatories will use the latest submarine telecom technology but also will require the development of new equipment, power systems, and subsea installation methods.

“Designing NEPTUNE has been a real challenge,” explained Peter Phibbs, associate director of engineering and operations, NEPTUNE, Canada.

“Alcatel must take terminal equipment and layer-two switching, which is normally put in an air-conditioned room on land, and instead install it on the ocean floor. The equipment must be dependable since repairs cannot be done often.”

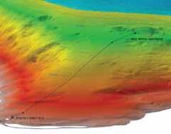
In the first phase of NEPTUNE, Alcatel will deploy a subsea-cabled observatory for University of Victoria, comprising an 800-km, two-fiber ring on part of the Juan de Fuca tectonic plate off the coast of Canada. Four branching units on the submarine cable will connect to base stations housing nodes located at various points of scientific interest along the route. Initially, only two base stations will be equipped with nodes. One node will be in 250 meters of water and the second in 2,200 meters.

is the Editor and European Correspondent for Fiberoptics Market Intelligence, which is published by KMI Research, a division of PennWell. Mr. Ruderman’s reporting also takes him to Latin America, North Africa and the Middle East.

The projects will allow scientists with different expertise to simultaneously use subsea-cabled observatories to study the ocean. The coordinated research will help countries monitor and respond to pollution, global warming, earthquakes, and other dangers to global security.

In North America, NEPTUNE project scientists will be able to share information with colleagues in other institutions using high-speed research and education terrestrial networks such as CANARIE and Internet2.

“Over the last decade there has been too much optimism about the cost and ease of installation of these systems. It is really the University of Victoria with its NEPTUNE Canada program that is leading the way,” said Professor Monty Priede, Oceanlab director University of Aberdeen, Scotland. “With the award of the contract to Alcatel we are going to find out for the first time what industry can really deliver.”

Alcatel will design, manufacture, install, and commission the submarine cable system, using densewavelength-division-multiplexing technology, with an initial design capacity of 160 Gbps. Additionally, Alcatel will deploy its 1696 Metrospan WDM system

based
He

and 7450 Ethernet Service Switch that will provide scalable Ethernet aggregation from all nodes. The combination of optical and IP technologies will optimize bandwidth and minimize delays in information exchange between scientific teams. The Alcatel 1350 management suite will supervise both terrestrial and submarine optical networking equipment. The contract was awarded together with Nautronix MariPro – a specialist in cabled undersea sensor systems, and Satlantic, a manufacturer of precision sensors and observing system technologies.

The Canadian part of NEPTUNE, which is funded by $53 million from the Canada Foundation for Innovation and the B.C. Knowledge Development Fund, will be operational in 2007.

Many of the scientific applications of the Canadian part of NEPTUNE will be run at a testbed under construction called VENUS (Victoria Experimental Network Under the Sea) in British Columbia.

Global Marine installs first phase of VENUS

Global Marine of the UK, which has a turnkey contract to install the first phase of University of Victoria’s VENUS project, will, this month, install an eightfiber cable, supplied by Alcatel and a junction box containing a node three kilometers offshore in Patricia Bay in the Saanich Inlet, British Columbia.

“Installing VENUS will be a bit different from our regular telecoms projects,” says Phil Hart, engineering director, Global Marine, “In a telecom project, we connect a point on land to another point on land – there are two beach manholes. In Venus, one end is on land and the second one – a junction box – is in the water. The junction box is not static, which creates a challenge. It’s like dropping something the size of the car on the ocean floor. We need to place it very accurately on the ocean floor because the sockets for fiberoptic cable and power cables are on the sides. We lower it off the back of the vessel in a harness.

We then use ROVs to release the node, which is full of electronics, from the harness. The node is already attached to the submarine cable.”

VENUS will be a testbed for scientific applications. Scientists in a control center at the University of Victoria will operate the equipment connected to the node, which will cover a 70-meter radius. The node will support an array of equipment, including hydrophones, digital still and video cameras.

From these nodes, land-based scientists will control and monitor sampling instruments, video cameras, and remotely operated vehicles as they collect data from the ocean surface down to the seafloor. Instruments will be interactive – scientists will instruct them to respond to events such as storms, plankton blooms, fish migrations, earthquakes, tsunamis, and underwater volcanic eruptions, as they happen.

“Until now, we gathered information using instruments lowered off a ship. This gave us only narrow slices of data. There was no feed back that instruments were working well, and no way to change instruments,” said Adrian Round, Venus project manager. “VENUS will allow us to communicate with the instruments on the ocean floor.”

Mr. Round said that the second VENUS cable would be installed in August and September 2006 in the Straits of Georgia, 30 km offshore in 300 meters of water. The cable will connect three nodes linked in daisy chain to shore. The Straits of Georgia project is a busy sea-lane. Scientists will study the effect of traffic on the ecosystem. The cable linking the nodes will land at a small shore station, which will be linked to a control center at University of Victoria.

MARS to test technology for U.S. NEPTUNE project

During stage two of NEPTUNE, the project’s U.S. partners, will use National Science Foundation (NSF) funding to expand the underwater submarine cable system into U.S. waters. Depending on the funding, construction of the U.S. network would start in 2009 or 2010. The U.S. portion will require about 2,200 km of submarine cable. It will complete the observatory’s coverage of the entire Juan de Fuca tectonic plate.

The full 3,000-km network will have more than 30 nodes. It will allow scientists to observe the whole plate, which is the world’s smallest tectonic plate.

In the United States, NEPTUNE is the regional part the NSF’s Ocean Observatories Initiative (OOI), which is administered by the Ocean Research Interactive Observatory Networks (ORION). OOI will include coastal, regional and global observatories.

OOI marks a new phase in oceanography in which research scientists will seek continuous interaction with the ocean environment to observe the earthocean-atmosphere system. This approach, explains Peter Milne, director, Ocean Observing at ORION, is crucial to understanding and resolving the wide range of climatic and environmental problems affecting human society.

Until now, subsea-cabled observatories in North America have focused on a small number of scientific applications. These coastal observatories are located in shallow waters, a short distance off shore and have only a few nodes. The main subseacabled observatories today are run by Woods Hole in Martha’s Vineyard, Massachusetts; Rutgers University’s Leo-15 project in New Jersey and Memorial University’s observatory in Bonne Bay, New Foundland.

Funding for the U.S part of NEPTUNE and the other OOI projects could be available in late 2006 or early 2007. “Funding would be for the entire program – coastal, regional and global projects.” Mr. Milne said. “The projects would be built over a five to six year period. We will first build the coastal projects, then the regional projects and then the global projects.

“There could be other regional projects as well as coastal projects on the east and west coasts of the United States and in the Gulf of Mexico. The coastal and regional projects use submarine cable. The global projects will use buoys and satellite and wireless connections.”

Much of the technology for NEPTUNE and other OOI projects will be tested at MARS (Monterey Accelerated Research System) a testbed being built in Monterey Bay, California.

MARS consortium begins construction of cabled station in Monterey Bay, California

Construction of the MARS cabled observatory has begun. Alcatel, the project’s main contractor, plans to install the MARS submarine cable early next year.

Alcatel will install a 53-km, 8-fiber cable to connect the Monterey Bay Aquarium Research Institute (MBARI) to a node about 30 km offshore on a ridge off Monterey Bay in 870 meters of water. The node has eight ports. Each port can receive a cable to connect instruments at distances up to four kilometers.

“The project’s role is to test technology,” says Keith Raybould, MARS project manager “The main technology is infrastructure and the node power system, which uses 10 kV.”

MARS is a consortium that includes the University of Washington; Jet Propulsion Labs; Woods Hole and MBARI. Each partner contributes a different part of MARS. Woods Hole designed the communications system; the University of Washington and the Jet Propulsion Laboratory developed the power system for the network,and MBARI did the system integration. The consortium could be picked to build the U.S. part of NEPTUNE.

Andrew Maffei of Woods Hole, will test a communication system he designed for NEPTUNE

at the MARS testbed. The system will use Gigabit Ethernet over DWDM. He said that using commercially available optical transponders, EDFAs, and multiplexing equipment, distances in excess of 200km are achievable. His design will use eight wavelengths carrying 1 GbE (Gigabit Ethernet) each. Cisco and Network Electronics of Norway will supply the Ethernet switches and DWDM equipment

ESONET seeks funding for European subsea observatories

The European Commission could approve funding for ESONET (European Sea Floor Observatory Network) next year, said Roland Person, head of subsea observatories at IFREMER, the French Research Institute for Exploitation of the Sea and ESONET’s recently named program coordinator.

ESONET was created three years ago as the subsea component of the European GMES (Global Monitoring for Environment and Security) to provide strategic long-term monitoring capability in geophysics, geotechnics, chemistry, biochemistry, oceanography, biology and fisheries.

For now, there are 10 ESONET-coordinated projects, which cover topics such as public safety; geohazards; pollution and Tsunamis warning. There are projects in the Atlantic Oceans extending from Norway south to Portugal; in the Mediterranean; and in the Black Sea.

“Our plan is to connect the projects to shore using submarine cable and then use national and panEuropean terrestrial research networks to send information from the projects to a control center,” Mr. Person explained.

euro for this backbone infrastructure. An additional 5,000 km of specialized submarine cable could be needed to connect experiments and subsea devices to the backbone networks.

Mr. Person said that the submarine cable connecting France’s Antares Neutrino telescope project in the Mediterranean could be used to support ESONET Ligurian, a proposed project off the coasts of France and Italy. The project, which is multidisciplinary, would be a testbed for ESONET the way MARS is for NEPTUNE.

The Antares Neutrino telescope project has 45 km of 48-fiber cable going from La Seyne Sur Mer (near Toulon) to junction box on the Mediterranean floor 2500 below the surface. The underwater site has optical detectors to detect neutrinos and equipment for other types of experiments.

“Last year’s Tsunami in Asia and the recent wave of hurricanes in the Gulf of Mexico have raised the level of awareness in Brussels,” Mr. Person said. “The events could be a catalyst for the funding of our projects.”

MARS project: http://www.mbari.org/mars/

VENUS project: http://www.venus.uvic.ca/sog/index.html

NEPTUNE (Canada): http://www.neptunecanada.ca/

NEPTUNE (US) project: http://www.neptune.washington.edu/

Based on the distances of the 10 projects from shore and the area of sea that each will cover, ESONET has calculated the projects would need more than 5,000 km of submarine cable for the basic infrastructure. ESONET plans to seek 120 million euro to 220 million

ANTARES (france) project: http://antares.in2p3.fr/

ESONET project: http://www.oceanlab.abdn.ac.uk/research/esonet.shtml

Underwater Infrastructure Protection, Risk Mitigation, and

Pro -active Pro-active

Prosecution: PART I

Summary

As a result of the terrorist attacks in the United States and Europe, actions were taken to overhaul airport, harbor, and transportation security, including surveillance of vital global communication infrastructure, to prevent disruptions of services. Today, submarine cable communication is the preferred technology used to provide inexpensive and secure voice and data transport throughout the world. In the United States, underwater fiber optic communication cable systems used for telecommunications, military surveillance, electrical power distribution, or subsea oil and gas distribution pipeline monitoring are within the purview of the Office of Homeland Security. These cables, as well as oil and gas distribution pipelines, are considered critical assets; therefore, the underwater community, as well as government agencies, have planned and implemented aggressive and pro-active security measures. Protection plans for ports and harbors, underwater systems technologies, and all critical maritime resources are undergoing major examination to safeguard against aggression and to provide secure restoration and business continuity. Pro-active roles are evolving for Unmanned Underwater Vehicles (UUVs) capable of supporting expanded harbor surveillance, detailed subsea surveys, risk assessment and mitigation, and prosecution, thus protecting critical subsea infrastructure. This paper addresses risk assessment, prevention of physical aggression, and the implementation of disaster recovery solutions, including the support of FEMA as in the case of the recovery from the natural disaster devastation caused by hurricanes, typhoons, and tsunamis.

Introduction

Since the onslaught of the September 11, 2001 attack on the World Trade Center and the subsequent European and Asian terrorist attacks through 2005, the focus of governmental agencies throughout the world has been the protection of human life, the world economy, and critical infrastructure security and defense. The U.S. response and global focus resulted in the creation of the U.S. Department of Homeland Security in January 2003.

to prevent the occurrence of further catastrophic events escalated in European countries, especially after the Madrid Attocha Train Station bombing on March 11, 2004, which killed 192 victims and injured 1400. The events in Russia, including the September 4, 2004 terrorist hostage siege at the Beslan School that resulted in 350 dead children and an additional 448 people wounded, resulted in President Vladimir Vladimirovich Putin stating, “We must create a much more effective system of security; we couldn’t adequately react. ... we showed weakness, and weak people are beaten.” The United Kingdom, which has faced attacks of homegrown terrorism for decades, has now been the focus of the new world order of terrorism resulting from radical religious extremists. The July 7, 2005 transportation system bombings in London resulted in fifty-six people being killed and 700 injured in the deadliest terrorist attack since the Pan Am Lockerby Flight 103 tragedy, which killed 270 people. In addition to the loss of life, the rush hour London Underground train and bus bombings disrupted city transportation and wireless communications for several days. There has been speculation regarding links between these bombers and another alleged al-Qaeda cell in Luton, which were broken up in August 2004. That cell was uncovered after al-Qaeda operative Muhammad Naeem Noor Khan was arrested in Lahore, Pakistan.

Further actions have been implemented internationally that resulted in the overhaul of airport, harbor, and transportation security, ranging from advanced surveillance to active defense of vital infrastructures to prevent disruptions of services, such as global communications and the internet.

Therefore, the underwater community, as well as the Department of Homeland Security, must exercise pro-active risk assessment and mitigation techniques to prevent catastrophes from occurring. Protection planning and implementation for underwater systems technologies, cable stations, terrestrial backhaul facilities, and maritime resources are undergoing major refinements to safeguard against acts of terrorism and to provide secure restoration. In addition to government efforts, the International Cable Protection Committee Ltd. (ICPC) is developing security recommendations for the individual facility owners and operators.

Similar restructuring of allied anti-terrorist efforts

Regulations and IT technology are not enough; rapid response intervention tools and prosecution technologies are required. Pro-active support roles are evolving for new Unmanned Marine Vehicles (UMVs) and the evolving hybrid Unmanned Surface Vehicles (USV). Maritime robotic vehicles are capable of supporting faster, more accurate surveys, deeper burial of fiber optic systems, advanced artifact locating technologies, and expanded subsea surveillance. UMVs and USVs are required to protect our ports, harbors, and cable access lanes. Risk assessment and prevention of theatre-specific events has resulted in the demand for patrolling littoral areas and critical subsea infrastructures.

To promote the interchange of technologies, the IEEE – Oceanic Engineering Society (IEEE-OES), NAVSEA-Naval Undersea Warfare Center (NUWC), and the Congressional Committee on Homeland Security will continue to host the IEEE-OES Homeland Security Technology Workshop on December 6, 7, and 8, 2005. This year’s workshop will be held at the Newport, Rhode Island Marriott Hotel. The continuing theme for this annual event is “Under the Water, On the Water, and Over the Water to Protect the Homeland with Integrated Technologies.” The purpose of these workshops is to bring together small technology companies, large defense contractors, military, government, academia, and not-for-profit institutes who are developing technologies and products for Ocean and Maritime Technologies for Infrastructure Protection. This IEEE-OES workshop provides an unprecedented opportunity to network with engineers, scientists, maritime legal experts, and local, state, and federal government personnel who all share a common concern and goal in providing advanced technologies to protect vital maritime infrastructure and provide for the safety of our ports, harbors, coastal eco-systems, and oceans.

• Sonar and Mapping Systems

• Maritime Domain Awareness

• Maritime Security and Harbor Protection

• Computers and Computer Network Protection

• Industrial Plant Infrastructure

• Risk Analysis and Mitigation

• Pollution Assessment and Environmental Security

The Technical Homeland Security and Safety 2005 Conference (TEHOSS 2005) was sponsored by IEEE and the Gdansk University of Technology (Politechnika Gdanska) on September 28-30, 2005. TEHOSS, like OES HSTW, was a forum for scientists and engineers from academia, industry, and governmental organizations to discuss and propose solutions in research leading to technology development for safe and secure systems. Its scope was broad and interdisciplinary in character and included a defined European flavor and approach to the global problem of terrorism. Some of the areas of focus included:

Conferences on terrorism in England, France, Russia, and Poland, as well as the Pacific Rim Homeland Security Conference attended by 42 nations, show that terrorism has been recognized as the major threat to modern society. It is no longer enough to focus on a specific port or harbor; protection must include the point of origin. As the same is true for underwater infrastructure, all landing points and access routes must be protected.

Response to Terrorism

America’s immediate response to the October 12, 2000 attack on the U.S.S. Cole (DDG67) as it sat in the Aden, Yemen port was one of outrage and disbelief, but as time passed this terrorist attack faded from the minds of the general public as Americans went back to their lives. It was not forgotten by the families and friends of the 17 who died and the 39 who were injured while waiting for refueling in a foreign land. It was not forgotten by the U.S. Navy or the President. In the end, though, the United States hunted for the terrorist cells responsible for this act, and the Navy re-fortified its vessel force protection and foreign and domestic port security. Then, as smoke and clouds of ash rose from where the World Trade Center towers once stood, Americans realized that we were under attack by a dauntless and ruthless enemy like no other that we have ever faced on U.S. soil. We were on that day, and every day since, facing human instruments of rage, filled with the ideology that America and the West are corrupt and must be brought to their knees, even at the cost of their own lives.

into that community on a daily basis. Their analytical computers and the networks that link them together were described by “Feds Online” as being “woefully outdated computer systems.” Had the United States overlooked telltale signs and salient information that could have led to the prevention of these catastrophic events? The United States is now focused on the use of sophisticated technologies and robust communications networks to provide advanced screening of the volumes of data arriving daily and to support investigations and official communications should future calamities of this magnitude occur again anywhere in the world.

Information access is critical for preventative security measures, as well as for the post-disaster control environment. For example, preventative security measures for airports, harbors, and land-based transportation hubs would include global biometric identification systems, including face, handprint, fingerprint, and retinal scanning technologies, as well as cargo bar-coding, which also provide cargo and source handling identification records and a bill of lading. Further biometric identification techniques could include national ID smartcards for all individuals, especially those accessing critical infrastructures, such as port ISO container storage areas. These all require fast and efficient fiber optic links for the transfer of data in a “close to real-time” global environment. For these communications links to be effective worldwide, they require protected underwater fiber optic systems that transport data between continents and secure interfaces to backhaul facilities for terrestrial distribution to harbor masters, customs, and others that require immediate and timely access to the type of data that could be provided.

Telecommunications has long been considered the lifeblood of major customers, providing pertinent information to multinational corporations. Therefore, these major customers, and consequently the telecom service providers, have escalated the priority of their concerns about infrastructure security and the resultant chaos caused by a major breach. There has been a joint focus by owner/operators and the large system users directed at network redundancy, route diversity, and survivability of the customer’s privileged and confidential data.

The U.S. Intelligence Agencies have been accused of overlooking pertinent facts and information that stream

Physical security always existed at switching centers and facility offices, and it has expanded to include remote

security access to cable stations and landing sites. In addition to identifying personnel in the station, these security systems rely on remote monitoring technologies to protect the fiber optic networks, and the system interrogation station provides restoration routing instructions for attending personnel in times of service interruptions. Today, because of the use of advanced multiplexing technologies, such as Wave Division Multiplexing (WDM) and Dense Wave Division Multiplexing (DWDM), system circuit capacity and bandwidth has increased almost exponentially, creating the demand for increased system protection. Therefore, there is increased system monitoring requirements to ensure system reliability, and with the use of control technology, there exists a greater dependence on centralized monitoring and information processing at Network Control Centers responsible for restoring critical services if a fault occurs.

Before the terrorist events of the past several years, telecommunications companies’ efforts were directed toward protection from cultural aggressions, such as trawling activities and anchor drags, and not toward intentional wide-scale sabotage. The realization of possible attacks on maritime infrastructure has caused the U.S. Coast Guard, which is now part of the Office of Homeland Security, as well as the facility owners and operators, to re-assess their existing protection strategies for submarine fiber optic cables. Jointly, government agencies and the service providers have taken steps to reduce the potential vulnerability of these communications systems. Various directorates in the Department of Homeland Security are also focusing on possible terrorist threats to depots, harbors, ports, and underwater approaches for oil and gas pipelines and power distribution cables.

Ironically, during the Cold War, telecommunications facilities were arguably more secure because the government’s security requirements were funded through tariffs. In the current deregulated market, funding for security is largely left to the companies, with some companies doing a decent job and others doing what is in reality probably an unsatisfactory job.

the glow of the burning towers; innocence and our sense of naïveté are forever lost, and we are now turned into skeptics and realists. Terrorism is no longer looked at as something that happens abroad in Beirut, Northern Ireland, or a third world country; it is a reality experienced in the streets of America, Spain, and Russia. It doesn’t discriminate by gender, ethnic origin, or wealth; it has the potential of touching or destroying all of us. Therefore, the government agencies and the public and private sectors have emphasized the urgency to assess our vulnerability and to prepare for, prevent, and respond rapidly to future terrorist activities.

With the realization that government alone cannot accept the burden of infrastructure protection, multi-national enterprises, both individually and collectively through trade associations, are stepping up activities to face the myriad of critical challenges, including the following:

• Define potential vulnerability of communications infrastructure to both external and internal attack, which can result in the loss of the circuit capacity and needed availability.

• Infrastructure site/facility hardening and restricting personnel access to appropriately cleared personnel with badges.

• Development of preventative security measures, systems, and processes that counter the likelihood and impact of an attack.

• Institute extensive behavioral modifications and training of station personnel to recognize potential threats.

• Institute extensive procedural modifications and training to prevent unauthorized observers being able to record personnel movement, shipping, and staff schedules. This includes random schedule implementation.

• Establish procedures, processes, and systems to ensure business continuity in case of service interruption.

to alternate facilities and minimize financial impact.

• Integrate current and emerging sensor technologies into system operations to detect and/or prevent the occurrence of a critical event and to facilitate rapid restoration to system normalcy.

• Develop and implement technology replacement strategies to ensure that security systems are maintained at a "state-of-the-art" level of monitoring efficiency. This includes implementation of monitoring that prevents hackers from crashing a system by evasive behavior, obstructive software, or new technology enhancements.

• Develop and implement Industry Standards and recommendations, such as those issued by the International Cable Protection Committee Ltd. (ICPC) or other international conventions such as the CCITT to protect communications infrastructure.

Implementation of these safeguards limits terrorist access to sites, such as cable stations, backhaul facility locations, and other critical infrastructures. The critical global communications network supports the twenty-first century personal, business, medical, and governmental data needs; therefore, communications systems will receive the attention of terrorists, who intend to disrupt modern life. Accordingly, we must ensure that these facility networks receive the underwater community’s full attention and protection.

Without restoration routing availability, service interruptions of these high-bandwidth underwater fiber optics

America and the world have matured rapidly in

• Develop detailed restoration plans to reroute service

Homeland Security Partnership with Commercial Telecom Enterprises

communications systems can result in excess of $1.5 million revenue loss per hour. The aggressive disruption of service results in multi-million dollar repair and restoration costs, and the impact on critical data transport for major multinational industries is even greater. The impact on military, diplomatic, and government logistics can cripple personnel and support movement; therefore, emphasis on protecting global communications, especially underwater fiber optic systems from aggressive acts, is essential.

Common awareness of all community interests and cross-industry requirements have allowed the communications industry to develop protection and security that focuses on preventative and anti-terrorist solutions. However, some cable owners and operators who are not members of either international organizations or private agreement clubs are not stepping up to the protection demands. Some of these parties in response to their limited finances have chosen to implement shallower and less costly burial methodologies that jeopardize cable service integrity by exposing the cable to possible faults. The shortcomings of this approach to prevention of cable faults was recently demonstrated when a specific-use cable was buried out to only a 200-foot water depth instead of implementing cable burial over its entire length in shallow water. In other situations, of course, seabed conditions, including soil density, rocks, topography, or access for future repairs, limit burial options. Failure to comply with minimum industry standards may result in multiple faults from other ocean floor community users, thus jeopardizing investor interests and placing system integrity and reliability at risk. The non-compliance with industry norms increased the probability of service interruptions experienced on the system. And, in fact, due to high activity in the vicinity of the cable, the fiber optic system described was faulted due to anchor drags and fishing activities; luckily, there were no terrorist activities identified.

The burial issue has been complicated by the relatively recent intrusions since 1999 of state coastal agencies, NOAA, and some district offices of the U.S. Army Corps of Engineers (“ACOE”) who insist on often extreme burial requirements outside of the 3NM state territorial and ACOE jurisdictions1 in permits. This is not out of concern

1 The U.S. Supreme Court has in two decisions unanimously defined state territo-

for the protection of the cable system, but as a response to objections from local fishing industry lobbying that perceive cables as a threat to indiscriminate bottom trawling and clam dredging.

In California and Oregon, the state, with the active support of the local ACOE district offices, requires as permit conditions that cable owners enter into one-sided agreements with fishing groups that call for exemption of liability for damage to cables from negligence and significant lump sum and additional annual payments of millions of dollars for the life of the cable system. In New Jersey, the state implemented extreme burial requirements to appease the demands of the local clam dredging industry. All of these states are also requiring costly video surveys of cables on the continental shelf already laid every two to five years to determine if any cable has not remained buried.

State and federal agencies such as NOAA and ACOE often dictate that burial is an environmental issue. The fact is that there is little or no scientific evidence that undersea telecom cables harm the environment. In fact, the historical data and experience with undersea cables since 1866 amply supports the premise that such cables are environmentally benign. Nevertheless, under U.S. administrative law procedures, the burden is on the cable owner to show that there is no harm. Proving this negative result in the short period of time required in a permit application is impractical. The absence of such evidence allows the agencies to presume harm and order remediation conditions costing millions of dollars. Military applications are now somewhat immune from the tremendous costs and delays associated with satisfying various state and federal environmental agencies and conflicting permit requirements because of special arrangements with the U.S. Army Corps of Engineers. The situation previously was so bad that for several years the U.S. Navy has been unable to deploy sensors and cables for underwater ranges of the U.S. coast, even though the obvious security and operational need for such systems is beyond debate. Scientific systems such as Neptune are also hopeful of being able to avoid at least some of the more expensive permit conditions for telecommunications cables because of agency

their special relationships with local state governments. At best, the issues of federal and state jurisdiction over submarine cables is tangled and confused.

Even within DOD, there is a stalemate between the Department of the Navy, the Department of State, and ACOE over whether ACOE, NOAA or the states can override international law such as the United Nations Convention on the Law of the Sea (1982) (“UNCLOS”) to regulate international undersea cables outside of the state’s 3NM jurisdiction and beyond the 12NM U.S. territorial sea.

If the United States could do one thing that would help maximize telecommunication infrastructure protection and resolve the jurisdiction impasse on international cables, it would be for the Senate to ratify UNCLOS. Unfortunately, the Senate Majority leader has declined to allow UNCLOS to be scheduled for a Senate vote, even though the Senate Foreign Relations Committee has voted in favor of allowing the convention to be sent to the full Senate after extensive hearings. So far the Senate has delayed its vote for over nine years.

The Department of Homeland Security needs to aggressively cut through the conflicting interagency and federal state agency regulatory regimes and lead an effort to set a common sense and single federal undersea cable regulatory regime that will be the sole centralized source for handling permits for military, scientific, and telecom cables. The recent amendments to the Deepwater Port Act for off-shore gas terminals are one approach. In that case, the U.S. Department of Transportation, acting primarily through MARAD and the U.S. Coast Guard, issues a single permit for construction and operation of an off-shore LNG terminal. All agencies - federal and state - must coordinate their comments and review through this one agency. Only a single environmental impact statement is used for all agencies. Decisions on the permit must by law be issued 356 days after the permit application is filed with the U.S. Coast Guard. This process balances federal and state interests while at the same time providing industry with a commercially practical timeline and predictability.

is also limited to 3 nautical miles. 33 U.S.C. § 403; 33 C.F.R. § 329.12. Although the

within its territorial sea, but otherwise it may not deliniate the route of cables on the continental shelf.

NEPTUNE Canada – NEPTUNE –Deploying New Cabled New Cabled Observatory Technologies in the in the Deep Ocean Deep Ocean

Submarine telecom systems transmit data from shore to shore. They achieve their high levels of reliability by minimizing the amount and complexity of equipment in the water. How, then, to maintain high reliability in a system that transmits data from the seabed to shore? That is the challenge that faces the NEPTUNE Canada project team at the University of Victoria (UVic), British Columbia, and its selected contractor, Alcatel.

The NEPTUNE Canada Cabled Ocean Observatory System is an underwater cable system built specifically to support scientific research. For the first time, NEPTUNE will enable collection of oceanographic, seismic, climate, and ecosystem data from deep under the ocean continuously in real time, over its planned service life of twentyfive years. NEPTUNE Canada is Stage 1 of a joint Canada - US network envisioned to provide access to the entire Juan de Fuca tectonic plate, an area of over 200 000 km2 off the coasts of British Columbia, Washington, and Oregon. UVic leads a consortium of 12 Canadian universities responsible for implementation and operation of NEPTUNE Stage 1 with funding provided by the Canada Foundation for Innovation and British Columbia Knowledge Development Fund. Funding for Stage 2 is being sought from the US National Science Foundation and is expected to begin in FY2007.

NEPTUNE represents a fundamental step forward for the science of Oceanography. Oceanographers have traditionally relied on ships, buoys, or deep water moorings to collect data. Ships can remain on station for only a limited time within a narrow weather window, while buoys and moorings have limited electrical power and data bandwidth, as well as limited reliability. Out of commission telecom and military cables have been

used for scientific research, but these may not be in ideal locations and also have power or bandwidth limitations. Cabled observatories have been built off the coast of Japan to support a seismic network; however these observatories, built to a submarine telecommunications system design, have been unable to offer users the power required for a wide range of their instruments and experiments. Several “near-shore” single site observatories located a few tens of kilometers off shore have been built and operated successfully; NEPTUNE will stretch this limit to multiple sites and hundreds of kilometers. NEPTUNE’s ability to provide access to the deep ocean environment, frequent data collection, real time data delivery, instantaneous command and control, and continuous long term observation goes far beyond the capabilities of conventional oceanography. While these new capabilities are of great interest to researchers, NEPTUNE will also provide an outreach function for the science of Oceanography by delivering real time video, still photographs and data to schools, universities, policy-makers, and the public throughout the world.

Major research themes for NEPTUNE are plate tectonics, seabed fluid dynamics including gas hydrate formation, ocean climate change, marine biology, and deep sea ecosystems. Initially, two sites on the continental slope and two sites in deep water have been selected for connection to NEPTUNE. The shelf slope sites are Barkley Canyon, a site of upwelling that is rich in ocean life, and includes exposed layers of gas hydrates; and Ocean Drilling Program (ODP) borehole 889, where there are several existing drill holes and proximity to gas hydrate mounds. The deep water sites are ODP 1027, a drill hole site in the middle of the plate adjacent to two sea mounts; and the Endeavour Ridge, the site of numerous “black smokers” which emit seawater heated to 375°C and which support a food chain based on sulfide consuming bacteria and Archea, believed to be among the oldest forms of life on Earth. Additional nodes and sensors will be added as funding and resources permit.

To achieve these ambitious goals, a network infrastructure incorporating many novel design elements is required. The NEPTUNE network infrastructure consists of a conventional submarine cable and repeaters configured in an 800 km loop with both ends terminated in the former TPC-4 cable station at Port Alberni, which has been purchased by the UVic. A series of underwater nodes are connected to the backbone cable by means of branching units. Branching units will be deployed for all the initial sites when the backbone cable is laid. Observatory nodes can be deployed immediately or added at a later stage. The branching units provide power switching for control and fault isolation. Optical signals are directed to and from each node using a distributed DWDM scheme. The use of repeaters and DWDM allows a single fiber pair to serve all node locations. The node itself consists of a large frame with two underwater housings: one containing a power converter and the other containing the communications equipment. Two protected Gigabit Ethernet channels are provided between each node and the shore station. NEPTUNE relies on Ethernet and TCP/IP for communications between instruments and a shore based Data Management and Archive System (DMAS). Precision timing is transmitted to the instruments using the IEEE 1588 Precision Time Protocol.

communications to the seabed rather than just across it. At each subsea node location, the optical line must be terminated and Ethernet switches distribute communications to the scientific instruments or to extension cables. This means that terminal equipment normally housed in an environmentally controlled cable station must be adapted for use in underwater housings. The use of a repeatered solution allows conventional 2.5 Gb/s transponders to be used while still reaching locations that may be several hundred kilometers from shore.

Designs using long spans and full regeneration at the underwater nodes were also considered and may be used in the future depending on the desired system configuration.

Along with data to and from the seabed, NEPTUNE can deliver up to 100 kW of electrical power for operation of communications equipment, sensors, cameras, lights, and potentially remotely operated vehicles. This level of power delivery is made possible by increasing the line current from around 1 ampere in a typical telecom system to as much as 10 amperes while maintaining a voltage of 10kV on each shore end. At each node, a custom built DC-DC voltage converter accepts an input voltage from 5 to 10 kV and provides a 400 V, 10 kW output. Seawater provides the return path from each node to the shore station. Since each node provides a load between the cable and seawater, the loads seen by the power feed are in parallel, rather than in series as in a conventional repeatered system. The 400V intermediate voltage is used for local distribution.

means of underwater mateable connectors, with each connector providing an Ethernet communications interface and power. These interfaces will be standardized to allow instruments built by many researchers to be connected. Typically, a package of several instruments will be connected to each interface point. Extension cables may be used to locate instruments up to 120 km from a primary node. Instruments will be deployed on the seabed, within sea floor boreholes and buoyed up through the water column at particular locations.

This network infrastructure represents a paradigm shift for submarine cable technology by providing

Scientific instruments are connected to the node by

As might be expected, a system such as NEPTUNE with many stakeholders to satisfy and a limited budget can also be challenging to specify, design, and project manage. UVic’s timing could not have been better – the telecommunications industry is in a slump – raising supplier’s interest in finding work in more diverse fields. UVic, recognizing its lack of experience in this field, went outside academia and hired key elements of its project team from industry. Despite building on existing experience, the process of defining realistic purchaser’s requirements has stretched over several years, with the project team working iteratively between the scientific communities in Canada and the US and potential suppliers. The supplier selection process was to first qualify potential suppliers, and then to distribute for comment a complete draft Request for Proposal package before (re)writing and issuing the final RFP. This process ensured the user’s requirements were realistic, within the suppliers’ ability to deliver, and within budget. The evaluation and selection process then took almost twelve months, culminating with an award to Alcatel in October 2005. The design, prototyping, and demonstration phases will take a further twelve months. Cable laying operations are scheduled for summer of 2007, at which time a set of test instruments will be deployed. Finally, the main scientific instruments will be deployed and connected to the network during the summer of 2008. The operations and maintenance phase will include annual cruises to repair and replace instruments as well as on-demand cable ship repairs when failures

occur in the network infrastructure.

In addition to all the usual challenges of permitting, coordination with other seabed users and supplier management, NEPTUNE has several unique concerns. The nature of the scientific sites means the seabed installation is, to say the least, complex. Deployment of the nodes and instruments will require ROV operations. Instruments have to be adapted, or designed from scratch, to work on a cabled network rather than batteries. A data management and archiving system has to be designed to handle the unprecedented amounts of oceanographic data. And, because NEPTUNE has the potential to collect sensitive acoustic data, national security has become a matter of some importance, requiring dialogue with the Canadian and US navies.

Reliability has been an overriding goal throughout the design process and there are many network features that address reliability. First, the network forms a ring, so every node has two paths to shore. All node components have at least 1:1 redundancy. The power converter consists of a stack of building block units which provide multiple levels of redundancy. Single points of failure, such as repeaters and branching units, are built to the levels of reliability established for commercial telecom cable systems. In spite of the reliability and redundancy, many of the node components are Commercial-off-the-Shelf (COTS) and failures are inevitable. When failures occur, the node housings can be detached from the base frame and floated to the surface by an ROV. Syntactic foam ensures neutral buoyancy. The node can be immediately replaced with a spare, or refurbished and redeployed later. While it sounds counterintuitive, computer modeling shows the best maintenance strategy is to wait for a complete failure (i.e. both redundant components have failed) before undertaking a repair. Because of the down-time involved in making a repair, proactively replacing failed units actually results in more unavailable time than waiting for a failure, even though a longer outage

will be experienced when a complete failure occurs. Overall network availability is expected to be in the range of 96% to 97%, which is surprisingly good considering that a node repair may take days or weeks.

One of the exciting aspects of NEPTUNE is the potential to utilize the technology in other applications. The availability of broadband communications and generous amounts of power at locations hundreds of kilometers from shore opens up many new possibilities for both scientific research and for equipment development and qualification. Communications systems for remote monitoring and control of well heads, continuous seismic monitoring of oil fields, and communications to high risk work areas are some of the areas in which NEPTUNE technology could be used, and in which NEPTUNE could be used as an equipment proving ground. Military and port security applications are also possible; use of an off-the-shelf solution which can support hydrophone arrays and other sensors would reduce or eliminate development effort for new sensor networks. Given NEPTUNE’s position as a research facility, it is likely some of these new concepts and applications will be tested on NEPTUNE itself before deployment elsewhere.

Can UVic successfully complete this demanding project? All the key pieces are in place: an experienced project team, an industry-leading supplier, support from the academic community and funding agencies, and realistic objectives. However, it is too soon to celebrate; much work lies ahead. UVic and Alcatel are committed to delivery of a working system by 2007. If NEPTUNE Canada achieves the goals it has set for itself, it will open up both a new realm of Oceanography and new markets for the submarine cable industry. For an industry still recovering from the telecom meltdown, new challenges and new ways of thinking can provide a much needed boost to both morale and the bottom line.

Steve Lentz has over fifteen years experience in the construction and operation of optical communications networks including metropolitan area networks, national networks, and international submarine cable networks. He has served as VP Network Engineering and Deployment for 360networks’ submarine division where he developed the network architecture, functional requirements, and performance specifications for international submarine cable networks and supervised testing, commissioning, and verification of compliance with contractual requirements. He was Manager of Transmission Engineering for Time Telekom, Sdn. Bhd. located in Kuala Lumpur Malaysia, and Director of Systems Engineering for Lightwave Spectrum, Inc. He joined WFN Strategies in 2005 as Project Manager, and has supported telecom projects in Oklahoma and the Gulf of Mexico.

NEPTUNE Canada

The Contractor’s Viewpoint

For an industry-leading supplier like Alcatel, embarking on the NEPTUNE Canada adventure is certainly a thrill. For a somewhat change reluctant industry, such an unprecedented regional size cabled observatory represents novel ideas, quite a bit of new development, lots of sound engineering and definitely a good dose of out of the box thinking.

Getting to new markets generally means developing new products and NEPTUNE Canada is no different in that regard. Although Alcatel’s standard solutions include a comprehensive set of wet plant options, they normally provide communications from one land-based location to another land-based location. This time Alcatel is developing a “dry to wet” solution that not only includes communications but also delivers large amounts of power to the undersea experiments and sensors. Alcatel’s cable, repeaters and branching units

will be qualified to work with much higher line currents than what they were initially designed for. While using standard single conductor cable, the 10 KV powering scheme will be totally new to a telecommunications company entering the field of land based power grid parallel feeding whereas standard systems rely on series power feeding through the cable.

The communication subsystem will also rely on a unique combination of optical and IP networking equipment including the Alcatel 1696 Metrospan (MS) using Forward Error Correction (FEC), the Alcatel OmniSwitch (OS) 6800 and the Alcatel 7450 Ethernet Service Switch (ESS) providing scalable and reliable Ethernet aggregation from all nodes. The selected Dense Wavelength Division Multiplexing (DWDM) ring architecture allows each node to be disconnected without affecting the rest of the network offering a good level of resilience. The combination of optical and IP technologies will optimize bandwidth and minimize delays in information exchange between the scientific teams and their instruments.

Alcatel will also provide installation and provisioning of the cabled observatory infrastructure and has proposed options to further maintain the system after it is put in service.

The deployment of NEPTUNE Canada requires expertise and know-how in a wide variety of fields and Alcatel indeed offers a unique combination of skills comprising market-leading optical networking expertise, highly performance IP gear and solutions provisionning, proven deep sea equipment design and installation, and ultra high voltage handling making them a natural candidate for this project. Alcatel is not alone on this project, and has on its team other valuable members: Nautronix MariPro, the world leader in cabled undersea sensor systems, for mechanical design and the integration of the undersea node and Satlantic, a world leader in precision sensors and observing system technologies, for the low voltage control and monitoring subsystem.

Increasing the understanding of the oceans to give scientists, educators, policy-makers and the general public a new way of studying and understanding issues critical to our survival – including earthquakes, climate change and energy sources – is driving the interest for new sea floor cabled observatories. In that scope, submarine cable networks provide an ideal solution to build either dedicated infrastructures such as undersea telescopes or multidisciplinary cabled-observatories.

The opening to new markets based on the “dry to wet” applications has been slow to develop as some want to see a real scale demonstrator before they will express confidence in these solutions. The NEPTUNE Canada project is clearly ahead of the pack and will be seen as the true precursor in providing the scientists with an unchallenged tool for a better knowledge of the complex deep sea environment.

Antoine Lécroart has been working in the submarine industry with Alcatel for over 15 years. After being a technical project manager for the S560 submarine line terminal equipment, he was in charge of technical bidding for the first optically amplified transoceanic systems. He was subsequently responsible for Product Marketing within Alcatel for five years in Europe and three years in the US. Now in France, he is in charge of Marketing and Sales for Emerging Markets such as Oil & Gas and Science Observatories.

Asia Pacific Vantage

Asan industry player, I constantly look for measures to monitor the current telecoms climate and the mood of the industry. Clearly as a consultant, the level of business (or more precisely business opportunities) gives an indication. But one of the more significant markers is the Pacific Telecommunications Conference held each year in January in Hawaii. The level of attendees, and the associated gaggle of supporters and networkers provide a great metric of the health of our business. Given the conference focus attracts people from the international telecoms arena, it is useful in assessing the state of the submarine cable business. Unfortunately only registrants can be easily counted, but it is widely accepted that this numbers represents about 25% of the telecoms folks who come to Hawaii. Through the 1990s decade, the attendance grew steadily to a peak of 1850 registered attendees in 2001. With the bursting of the bubble, it fell to 1400, 1000 and bottomed in 2004 at under 800. Last years 900 attendees confirmed the growing mood of optimism that the worst was behind us. For many of us, it is a great time to be involved in the submarine cable industry, so my intuition says that the PTC numbers should be up further this year with more registered attendees and several thousand “networkers” alongside them. My optimism comes from the facts that there is a driving demand for capacity, that many of the cables are filling all their lit capacity, that there are improved techniques for generating capacity, that there are a few new cables being laid -- and then there are China and India —both great opportunities for growing the wealth of our business.

Demand

The demand for international capacity to support the global Internet continues apace. A year ago I wrote in SubTelForum that the rollout of Internet services was starting to put a smile on cable operators’ faces. Well after a year of increasing demand, most of them are now beaming.

In September 2005, the OECD released a report (http://www.oecd.org/document/16/0,2340,en_2649_ 34225_35526608_1_1_1_1,00.html#data2004 ) analysing the recent trends in broadband internet connections. The growth in the last 12 months was 38% across the OECD which represents in general the more developed countries in the world. Sure this is less than in the previous 2 years where it was 43% and 58% but it is still very healthy.

Possibly far more significant than these growths in broadband internet subscribers is the resultant usage of capacity for the essential connectivity. In most circumstances, as penetration of a service increases, the incremental utility of the service decreases. Look at the case of ARPU for mobile users. The late subscribers tend to have less need and so make less use of the service bringing down the average. However if we go to Australian statistics, notwithstanding the addition of late adopters, the average demand for capacity per user has increased. At June 2005, there were 2.18 million broadband users. The current estimated demand for international capacity to support those users is 35 Gbps, or 16 Kbps per user. Two years ago when similar measurements were performed, the figure was 12

Kbps. With the availability of greater speeds in internet access services, and fewer thresholds on the level of usage, it seems reasonable to assume that the average capacity per user will continue to rise, consuming increasing amounts of submarine cable capacity.

I don’t believe that this is peculiar to Australia but rather is a global phenomenon.

Upgrading existing cables and some new techniques

We saw a glut of cables laid around the turn of the century. With each new cable laid, we heard bigger and bigger numbers for the ultimate capacity of the cable. The photonics developments had for the first time in living memory given us potential capacity beyond our wildest imagination of demand. There are long-haul amplified cables such as C2C and TGN (Pacific) touting capacities of 7,680 Gbps. However as with most cables, they were only equipped for the near term demand so we see cables with many hundreds or thousands of Gigabits/sec equipped for 40 or 80 Gbps. The growth in the internet is seeing these equipped capacities fill requiring further wavelengths to be lit. This business of upgrading cables will be one of the growth opportunities for the supply industry for the next few years, as the number of brand new cables will be limited.

However much more fascinating than the ability to light more 10G lambdas on an established 10 G cable is the ability to replace some of the older 2.5 Gbps wavelengths with 10G wavelengths. Doing so while staying within the power and bandwidth constraints,

along with minimising any implementation disruption is a demanding challenge. But even more intriguing and arguably more beneficial is the ability to upgrade those first generation 5Gbps systems with multiple 10G wavelengths. The ability to utilise the same submarine amplifiers to offer this vast increase in capacity through clever finessing of the cable characteristics with various pre-emphasis and de-emphasis techniques never ceases to amaze me.

Practices like this will delay the provision of new cables, but there will still be some.

New cables

Many of the long-haul routes were cabled heavily in the last 10 years and in many cases, there are oodles of unlit capacity. Now there is a focus on filling in gaps. Short-haul cables, particularly festoons have again become a focus. Generally unrepeatered, they are a marriage of submarine and terrestrial infrastructure. With no power feeding, and distances less than 250 kms, these cable links can be well serviced by terminal plant designed for terrestrial systems. Provisioning these often thin routes, frequently linking smaller communities, many island based, is now more economic as the cost of terrestrial plant, with its mass volume and no requirement for the intricacies of long haul submarine systems, is much reduced on past alternatives.

traffic growths, a number of earlier cables have retired due to insufficient capacity or having been overbuilt by larger capacity cables. Where O&M is related to sheath miles, the unit cost per circuit can be prohibitive or at least uncompetitive compared to newer cables. However some of these retired cables have only been in the water maybe a third of their 25 year design life. So there is plenty of life left. And their lesser capacity is more than enough for the smaller communities that they will serve. The marvellous engineering of the original systems suggests that the technical issues of recovery and re-lay are modest and of manageable risk. We have seen the announcement of the re-use of Gemini for a UK-Guernsey cable, and there are plans to re-use PACRIM West to replace the 29 year old APNG cable.

And of course, there is the conventional laying of new long-haul cables such as SMW4 to keep the factories operating.

So the market gives good reason for optimism, when viewed from an OECD perspective. However the OECD figures exclude China and India, the two largest countries now becoming very much part of the global communications market.

China

The drive for lower cost solutions to service thin routes has also seen an interest in the recovery of retired cables and their re-lay on a new route. Because of

Within China there are now 100M internet users, of which 30M had broadband at mid 2005. Growth is around 48% pa. It is true that with the local regulations, and the language/calligraphy aspects, the amount of international demand will be tempered;

but the vast number of users, and the strong growth must continue to provide substantial demand for cable capacity within Asia and across the Pacific. Even with this contained demand, carriers like China Telecom are reported to be buying activating capacity not as multiples of STM1s or 4s but rather multiples of 10G waves -- certainly the news to delight cable operators and upgrade vendors.

India

There are 18M internet users in India of which only 0.8M have broadband. With an economic middle class of some 250M people, most of whom would appreciate broadband, there is an enormous demand potential to generate international connectivity needs. Furthermore with English as the business language, the international capacity per user is likely to be higher than in China. Consider 100M broadband users each using 10 kbps international capacity, that is 1000 Gbps. However this vast demand will make only a small impression on the current and planned cable capacities of SMW3, SAFE, FLAG, SMW4,

FALCON, TATA-India-Singapore, I2I and the Bharti India-SE Asia cables, where a concern about excess cable capacities and its market impact still lingers.

Summary

The positive mood of the submarine cable market should see a large contingent of industry players bolster the ranks of attendees to the January 2006 PTC. It should provide a great platform for discussion, not just amongst the networkers but at the sessions and events pitched directly to the sub cable audience. This year there will be an open session (sponsored by Nexans) on the opening Sunday to entertain, stimulate and condition you for the following days. With broadband internet continuing to boom, there should not be a sombre face amongst us. See you there.

Since 2001, John Hibbard has been a consultant with his own company, Hibbard Consulting Pty Limited, focusing primarily on the many facets of international telecommunications. John spent most of his career with Telstra and OTC. In the 7 years prior to his departure, John was Managing Director, Telstra Global Wholesale responsible for a team maintaining and growing Telstra’s international carrier business around the globe. John was also the Chairman of the Australia Japan Cable from its formation, having conceived the project and oversighted its execution. He was also elected by the industry to the Executive Board of the prestigious Pacific Telecommunications Council and is currently a member of its Advisory Council.

Prices on the right are for digital reprints of editorial pages from Submarine Telecoms Forum, unaltered. Page size is 8.25" x 11.75" on 28lb paper stock. Shipping cost is in addition to reprint price.

DEPLOYMENT OF CABLED, INLINE SENSORS, 3.5 TONS IN WEIGHT

INTRODUCTION

From March 2000 to August 2004, Nautronix MariPro has installed four mid ocean sensor systems. These installations have many aspects similar to a traditional telecom cable installation. However, deployment of the 3.5-ton sensor assemblies as in-line cable bodies is far from traditional.

The systems are part of a worldwide monitoring program for a proprietary customer. The systems contain hydrophones placed in the Sound Fixing and Ranging (SOFAR) channel that record information on low frequency noise sources.

To date, installations have been completed in the British Indian Ocean Territory, off the coast of South Western Australia, off the coast of Chile and in the South Atlantic Ocean. Figure 1 is a representation of a deployed system.

SYSTEM DESCRIPTION

The end requirement is for three hydrophones in the SOFAR channel about 2 km apart from each other in an equilateral triangle. In order to connect the sensors, or nodes, to each other and the shore, the nodes are essentially deployed as in-line cable bodies. The floats and hydrophones are placed into the SOFAR by releasing them from the node assembly after the system has been installed. The result is that the hydrophones are bottom tethered and buoyed with syntactic foam floats. Each node weighs 3.5 tons in order to accommodate the anchor mechanics, electronics housing, riser cable, hydrophone and float. A deployed single node is shown in Figure 2

FIGURE 2 TYPICAL DEPLOYED NODE

FIGURE 1 TYPICAL DEPLOYED SYSTEM CONFIGURATION

INSTALLATION OVERVIEW

The system is designed, manufactured and tested at the Nautronix MariPro facility in Goleta, California. All cable associated with the installation is panned at the same facility into 3.5 m diameter pans which are able to be trucked and/or shipped for mobilization. The entire system and all installation equipment is trucked and shipped to the ship-of-opportunity for mobilization and installation operations. Typically this requires 18 semi trucks to transport the system and installation equipment.

DEPLOYMENT OF SENSORS

Installation of the system seashore interface (SSI) and deployment of the trunk cable is similar to many telecom installations. The SSI usually incorporates some type of additional cable protection to protect it from near-shore hazards. In most cases, this consists of landing the cable with split-pipe or pulling it through directionally drilled, sub-bottom conduits. The trunk cable is deployed out of multiple 3.5-meter pans through two redundant, tracked linear cable engines.

The size and weight of the nodes mandate deployment with an A-Frame structure. Nautronix MariPro designed and built a modular A-Frame to address this need. The A-Frame is 22 tons in capacity and is modular by design to allow for ship-of-opportunity installations. The base incorporates three modified 40-foot flat racks. This heavy base acts as working counter weight allowing for installation on a vessel without having to tie into ships under deck structure. The flat racks also double as a nice raised working deck. Figure 6 shows the A- Frame test-launching a node at the dock.

The typical ship-of-opportunity is a DP oil supply vessel. Vessels have been mobilized in Singapore, US Gulf ports and Western Australia. A full vessel mobilization is usually completed in four days. This fairly rapid rate is due to the full modular nature of the installation equipment, the sensor system and all cable pans. Significant effort is also made to select the best port facilities for mobilization. Figure 4 shows a vessel mobilized for installation.

Three aspects of the sensor deployment make for a challenging operation, the weight of the nodes, the strength of the system cable and the cable deployment modelling, required to place the nodes in location.

Figure 5 lists specifics for node handling and deployment.

The next challenge is addressing the weight of the nodes on the trunk and inter-node cables. The deck load on the cable is a function of the node weight plus the accumulated load of approximately 2,000 meters of cable in the water column just before touch down. This total expected dynamic load exceeds the working capacity of the system cable. Also, the tension on the linear cable engine exceeds the allowable shear load placed on the cable. To address the first issue, a passive heave compensator was designed and built by

FIGURE 3 SYSTEM TRUCKED TO A US GULF PORT
FIGURE 4 VESSEL MOBILIZED FOR INSTALLATION

Nautronix MariPro. The compensator uses a four-pass configuration with 4.5 meters of linear compensation. The hydraulic system uses gas over oil pressure and accumulators to control the hydraulic cylinder. The cable shear load issue is addressed by adding a second cable deployment line incorporating a traction winch. Figure 7 shows the motion compensator and traction winch. Figure 8 shows relative active tension measurements before and after motion compensation.

and Makai Lay software. Due to the weight of the nodes, the cable has to be deployed slowly and with a vertical angle from the stern. This angle of deployment does not provide for a warm feeling of success as viewed from the deck for fear of laying loops of cable on the bottom. However, the cable does have an aft angle closer to the bottom and is controlled by the navigators as to the deployment model. This cable and node deployment scenario is very different from a traditional in-line body deployment. Cable deployment speeds while lowering a node into position are a fraction of a knot as driven by the cable and node properties. Deployment of one node and associated cables are completed in about 12 hours time. A majority of this time is spent to safely execute multiple load transfers around the node for launching. Depending on the length of the trunk cable, a full system deployment will require 3 days.

SUMMARY

These two solutions addressed launching the nodes and the dynamic loads on the cables. The remaining challenge is to deploy the cable and place the nodes in pre-determined, accurate locations to form the desired triangle. The cable deployment is modeled and controlled by Nautronix MariPro navigators using the Makai Plan Pro

This new type of sensor layout has required significant changes in deployment techniques, as well as modification and construction of specific deployment equipment. To date, seven systems and 21 sensors have been deployed successfully in four remote locations around the globe. Much of the success can be attributed to full project duration coordination between design, manufacture and installation personnel, shipof-opportunity approach to minimize mobilization and installation costs, dependable vendors and a highly trained and experience team.

Geoffrey Ball, PE; is a Senior Ocean Engineer with Nautronix MariPro. Over the last 15 years he has participated in over 25 major government and commercial marine cable installations. He is a graduate of the California Maritime Academy with a bachelors in both Mechanical and Marine Engineering.

FIGURE 6 A-FRAME TEST LAUNCHING NODE
FIGURE 7 MOTION COMPENSATOR AND TRACTION WINCH
FIGURE 8 MOTION COMPENSATION RESULTS

Wednesday 16th November sees the launch of what has been described as a pioneering project for the world of oceanography. Global Marine Systems Limited, the world’s leading provider of submarine cable installation and the University of Victoria, British Columbia, may not seem the most traditional of partners at first glance but, in a project which originated roughly five years ago, the pair have joined forces to deliver Canada’s first interactive seafloor observatory.

The VENUS (Victoria Experimental Network Under the Sea) Observatory arguably represents a step change in the field of marine science and Oceanography by utilising fibre-optic cabling technology to provide a real-time data feed of images, sound and scientific measurements from the bottom of the sea floor, which can be viewed live over the internet from December of this year.

Previously, marine scientists have broadly used two main methods for collecting data from the ocean floor. Either periodically recovering measurements from fixed or floating data collection buoys or developing and building their own instruments, which are then positioned on the sea floor for a short period of time and then recovered for later analysis. As Phil Hart, Director of Engineering at Global Marine points out, “both these methods simply provide a snapshot of data for marine scientists. The VENUS project observatory can be considered as being like a continuous film, rather than previous methods which are more akin to a group of photographs. This will allow long term observations to be made and much more reliable and detailed analysis to be achieved.”

Southern Vancouver Island, starting with the Saanich Inlet and then moving onto the Strait of Georgia. Housed in a fared-off, trawl resistant framework, the node itself is a piece of machinery about the size of an average family car and incorporates an electronic pod to deal with communications and power distribution. It was purpose built by the Canadian firm OceanWorks, who specialise in manned and unmanned subsea work systems. The node outer edge holds up to eight wet mateable sockets, into which the various pieces of monitoring equipment are connected by a remotely operated vehicle (ROV). The monitoring equipment can be up to 70m away from the node on the end of a series of flying leads.

The VENUS project is based in the waters around

Using its CS Wave Venture cable laying ship, Global Marine will install approximately 3.5km of subsea cable, which will connect the observatory to a dedicated shore station at Patricia Bay, from where the data will then be transferred to the Data Management and Archive System

Strait of Juan de Fuca

(DMAS) at UVic and then broadcast directly over the internet. The cable used in the project will be a standard OALC4-30 type that provides both data and power feeds to VENUS and lays on the sea floor at Saanich Inlet in roughly 100 metres of water. Global Marine will also build and install the jointing which connects the cable to both the observatory and shore station, and these were developed from the company’s existing experience of jointing engineering and processes. Overall, the Saanich Inlet cable installation part of the VENUS project will take a couple of days to complete and the CS Wave Venture will remain on call throughout the test and commissioning trial phase of VENUS.

In conclusion, the VENUS project is of huge significance to the world of marine science and, by letting its story unfold live over the internet, will undoubtedly make the world of oceanography far more accessible to a wider audience than before. This partnership of academia and industry is also another interesting example of how Global Marine has utilised its cabling expertise to diversify into areas outside of its core telecommunications market (it also conducts installation and maintenance work in the renewable energy, defence and oil and gas sectors.) As Phil Hart concludes, “Ours is a constantly evolving industry and Global Marine prides itself on its leading edge technology and ability to adapt to new and exciting opportunities. We are delighted to be working with the University of Victoria on the VENUS project and are keen to be an active player in the broader underwater observatory market.”

before being installed

• attend a cable jointing demonstration

• view both the VENUS Instrument Platform and remotely operated vehicle (ROV), and

• also experience a guided tour of the CS Wave Venture.

Additionally, other scientists involved in the VENUS project were on hand throughout the day to answer specific questions about their research.

Marc Hermel, Global Marine’s VENUS Project Manager, expects that the breadth of real time data that will be available over the internet will be diverse, reflecting not only the interests of the scientific community but also those interests of schools and the wider general public. This will include ocean chemistry, sediment studies, the biological distribution and interaction between marine life, bioacoustics, fish migratory patterns and plankton distributions.

The event:

The launch event was organized by The University of Victoria, Global Marine and OceanWorks and in attendance were representatives from local government, funding agents and dignitaries from the University. The event gave all guests the opportunity to

• see the VENUS infrastructure and instruments

The VENUS project broadcast starts in December and can be viewed live at www.venus.uvic.ca/

Further information about Global Marine can be found at: www.globalmarinesystems.com

Further information on OceanWorks can be found at: www.oceanworks.cc

Back Seat Driver

In the last 5 years the role of technology in undersea systems has gone from market driver…..to the back seat. More and faster has been replaced by thinner and cheaper. Business cases are about niches and sovereignty, not the latest and greatest. Technology changes are incremental, not leaps and bounds. Technology is no longer pushing projects. Rather, new projects are pulling smaller R&D budgets, emphasizing refinements. The spectacular achievements of the late ‘90s have provided a mature technology for the current marketplace and positioned telecom solutions as a platform for related applications.

Mature or Obsolete?

Successful suppliers have highly developed core system components including cable, optical amplifiers, joints, branching units, power feed and transmission equipment, with hundreds of thousands of kilometers deployed and millions of hours of reliable operation. Prior to deployment, large investments were made qualifying these components for mechanical, electrical and optical performance in order to assure a 25 year design life. Qualification also included handling during loading, laying, burial and repair operations and validation of performance at depth. As a part of this process, the interfaces between components have been qualified and standardized, providing considerable flexibility in system design and enabling considerable interchangeability of components between the major suppliers.

These development and qualification activities, as well as the dozens of successfully deployed, currently operating systems are the collective result of the huge investments in technology. While mature, the technologies developed from these investments are delivering reliable service to system owners and inspire the confidence of their customers.

How is My Driving?

Non-traditional and special purpose applications of undersea telecom technologies are related or even emerging market niches. These include:

· Scientific and industrial observatories

· Undersea ranges

· Surveillance systems

· Harbor defense

· Oil and gas communications and control systems

Observatories can have single or multiple nodes capable transmitting data from sensors for a simple time series of a single key parameter to supporting multiple and varied inputs such AUVs and active and passive sensing. Ranges generally involve active and passive acoustic transducers for the purposes of signature determination, silencing and training. The trend in range configuration is away from individually cabled and towards in line transducers. Surveillance systems are used to monitor vessel movements and are generally targeted to locations of strategic importance. Harbor defense systems are really a type surveillance system with the expanded requirement to detect specific threats such as certain targeted materials, small high speed vessels or divers, in addition to traditional vessel tracking. Oil and gas interests have growing requirements for reliable rig to shore bandwidth including the remote control of certain operations plus data generated from new sensor systems deployed for field monitoring. The recent devastating hurricanes in the Gulf of Mexico have created a heightened awareness of the need for reliable connectivity. In addition, the high value of operations has focused efforts on disaster recovery, as every additional minute of operation enabled at either end of a hurricane event can save thousands or even millions of production dollars.

The technology requirements of these non-traditional systems can vary considerably. However, there are certain unifying characteristics, including:

· Relatively low data rates

· Variable power requirements

· Simple to complex network architectures

· Active power and data path switching

Single node scientific observatories have relatively low power and data requirements, easily supported with current technology. In fact previous generation equipment may provide more than adequate capability and performance, allowing the cost effective reuse of retired undersea systems. The ALOHA Project, for example, will deploy a single node from HAW-4, providing an extremely low cost observatory in the North Pacific. Standard couplings will be used to provide the interface between the cable and the node.

Multiple node observatories like Neptune also have modest data requirements but may call for more complex networks. Mesh configurations between nodes are employed to enhance reliability and to provide multiple paths for communication and control among various scientific experiments. This is leading to the shift from SONET based node-to-shore communications to Ethernet based node-to-node and node-to-shore topologies.

Electrical power demands are also increasing in order to support applications such as lighting for under water photography and video, motors for coring and pumping sea water for accelerated sample collection, and recharging AUVs. These requirements can be met with minor enhancements and the re-qualification of traditional telecom cables, joints, and couplings or by the development of new solutions. A key decision, therefore, is the trade off between extending

the power capacity, distribution and management capabilities of current technology versus developing a new product for this special application. When high power consuming applications are to be deployed the system must have an intelligent scheduling routine to optimize and coordinate the hotel load with periodic loads. The system must also be able to monitor itself and intelligently shut down applications if limits are approached. While the capability to switch specific applications on and off must be an inherent part of the sub sea system, the intelligence associated with the switching may be resident on shore. The ability to switch power at network nodes is critical for system deployment and maintenance.

Range, surveillance, and harbor defense data and power requirements generally fall within the current technology spectrum. In fact, at times the data rates are low enough that previous regeneration technologies can be used rather than optical amplification. The next generation of sensors is trending toward all-optical; a key development decision will be the extent to which they can be integrated into qualified cable, joints and couplings.

Less traditional but currently available technologies such as wet optical add/drop multiplexers, branching joints, and low power/optical wet mate connections can complement off the shelf production components in special applications. Enhancements currently being qualified or designed into systems are: higher power levels for cable, joints and couplings; methods to break out electrical and optical signals from the core of off-the-shelf cables and pressure vessels to support external sensors; the use of standard repeater and branching unit chassis for nontraditional communications and power switching and management; and the use of standard couplings with pigtails configured for wet mate connectors.

Mr. Munier has a 25 year career in the marine industry, including interests in undersea cable systems, military ranges, ocean energy and operations. He has an undergraduate degree in geology and advanced degrees in ocean engineering and business.

Mr. Munier is Managing Director at Tyco Telecommunications, a leading supplier of fiber optic cable systems based in Morristown, New Jersey. His responsibilities include the sale of commercial undersea systems in the Americas and non-traditional undersea systems and marine services globally. Prior to joining Tyco, he was Vice President of General Offshore Corporation where he was in charge of the US business unit.

Purchasers and suppliers of non-traditional or special purpose undersea systems have a fundamental decision to make: what mix of existing and new technology should be employed in the solution? Is the priority reliability or one-of-a-kind features? Should the backbone and interfaces be part of the experiment? Does it need to be in the water sooner or later? Is the system being bought on a fixed price or is there a generous budget? The answers to these questions will help to determine the extent to which the benefits of the maturity of undersea telecom technology can be exploited.

Back Seat Driver

Homeland Security Technology Workshop

December 6-8, 2005 in Newport,

The IEEE – Oceanic Engineering Society (IEEE-OES) and NAVSEA-Naval Undersea Warfare Center (NUWC) will co-host the IEEE-OES Homeland Security Technology Workshop 2005 - Ocean and Maritime Technologies for Infrastructure Protection at the Marriott at Newport, RI on December 6, 7, and 8. The theme for the third annual workshop is “Under the Water, On the Water, and Over the Water”. Please visit http:// www.oceanicengineering.org and use the pull-down menu to go to conferences and workshops and selecting Homeland Security.

RI

The purpose of the workshop is to once again bring together small technology companies, and large defense contractors, military, government, academia, and not-for-profit institutes who are developing technologies

and products for Ocean and Maritime Technologies for Infrastructure Protection. This annual IEEE-OES workshop continues to provide an unprecedented opportunity to network with engineers, scientists, maritime legal experts, and local, state, and federal government personnel who all share a common concern and goal in providing advance technologies to protect vital maritime infrastructure and provide for the safety of our ports, harbors, coastal eco-systems and our oceans. Arlene Specter, Senator - PA in his letter of introduction stated that HSTW’04 was the leading maritime Homeland Security workshop of its kind.

Pam Hurst and Bob Bannon return as co-Chairs of this technology forum.

Congressional Luncheon Speakers for 2005 will include Jim Langevin - D-RI 2nd District and Rob Simmons - R-CT 2nd District, who both serve as members of the House Homeland Security and Armed Forces Committees, and will address the conferees on the state of the war on terrorism. The technical program offered two full days, of multi-track PowerPoint presentations and papers covering topics below:

· Underwater Telecommunications Protection Issues and International Legislation

Guard, NOAA, ONR, and NRL. The plenary

implemented by Australia, and the evolving views of the UN members concerning the Law of the Sea.

NAVSEA NUWC will have the SPARTAN Unmanned Surface Vehicle (USV) on display

THE CABLESHIPS

A global guide to the latest known locations of the world’s cableships*, as ot September 2005. Information Provided by Lyods list.

Letter to a friend from Jean Devos

My Dear Friend

November 2005

A New Culture

My dear friend,

I have really enjoyed meeting you at the Submarine Networks 2005 Conference. Our evening drinks at the Raffles famous “Long Bar” will be remembered. It was a deep pleasure to exchange with you about our business evolution, since we share the same views. We both agree: That week was very, very refreshing indeed and for many reasons.

The first one is Asia. Coming from a very depressed Europe, it works like an injection of new blood. It is clear that the majority of the coming year’s projects will happen in Asia. One can sense that the submarine cable planning activity is back there, since “Asia is running out of Bandwidth” (Bill Barney CEO Asia

Netcom).” The roar of the Asian Tiger” is a nice music to listen!!

The other reason for being so refreshing is the clear emergence of a new industry culture: Let’s build if and when it is needed and let’s do it in a cooperative mode.

• “Let’s avoid the sins of the past. Revenue is nice but profit is better “(Gabriel Ruhan CEO GMSL)”.

• “We are walking away from non profitable projects” (Bill Marra CEO Tyco Telecom).

This new culture is not at all a return to the past. But it is a new determination to stick to the real market needs, not to the speculative ones. There is also a clear message that a submarine system is not a commodity but a key infrastructure which deserves to be properly engineered, properly managed and paid at the right price. The suppliers now understand that cutting their prices further down will not increase the size of the market neither decrease the number of competitors. The owners now understand that the best way to optimize their investment is to co-build.

The third reason: So many new faces which gives me a lot of confidence in the future of our industry. It seems, my friend, that we have emerging industry leaders who are either coming in with fresh eyes or have learned their lessons. We are living a promising transition. The big gurus, with new gospels are gone. The gold conquest is dead! Wisdom and pragmatism are the new words!!

The only big pending matter for our industry is the large amount of unused capacity in both the Atlantic and the Pacific. And who controls this capacity is now a huge question. VSNL for instance is now by far the biggest capacity owner. What will be the attitude of the big carriers? The answer will come soon.

For the moment our industry is busy at building the missing links of the global network, or at connecting some new players : East Africa , Caribbean islands ,and many more coming such as Maldives, New Caledonia, Tahiti, etc . Soon, new large project will come such as China-US 2 -- Overall a 1 B$ / year business.

My dear friend, the coming year will show us if these cultural changes get confirmed. We will soon know if these nice words can be translated into real facts. Wisdom is not the easiest thing to implement!

Jean Devos

consulting.

Turn static files into dynamic content formats.

Create a flipbook
Issuu converts static files into: digital portfolios, online yearbooks, online catalogs, digital photo albums and more. Sign up and create your flipbook.