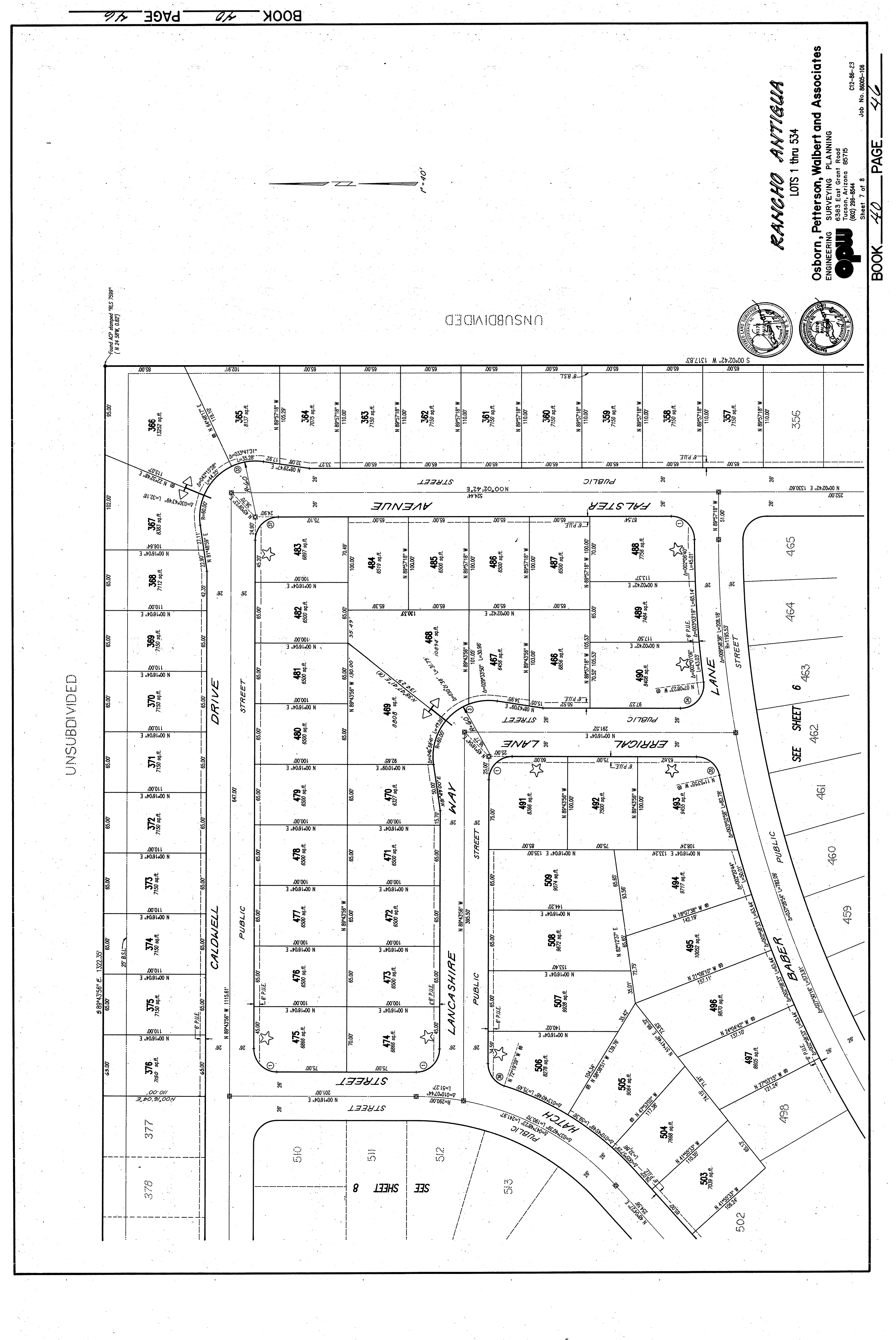
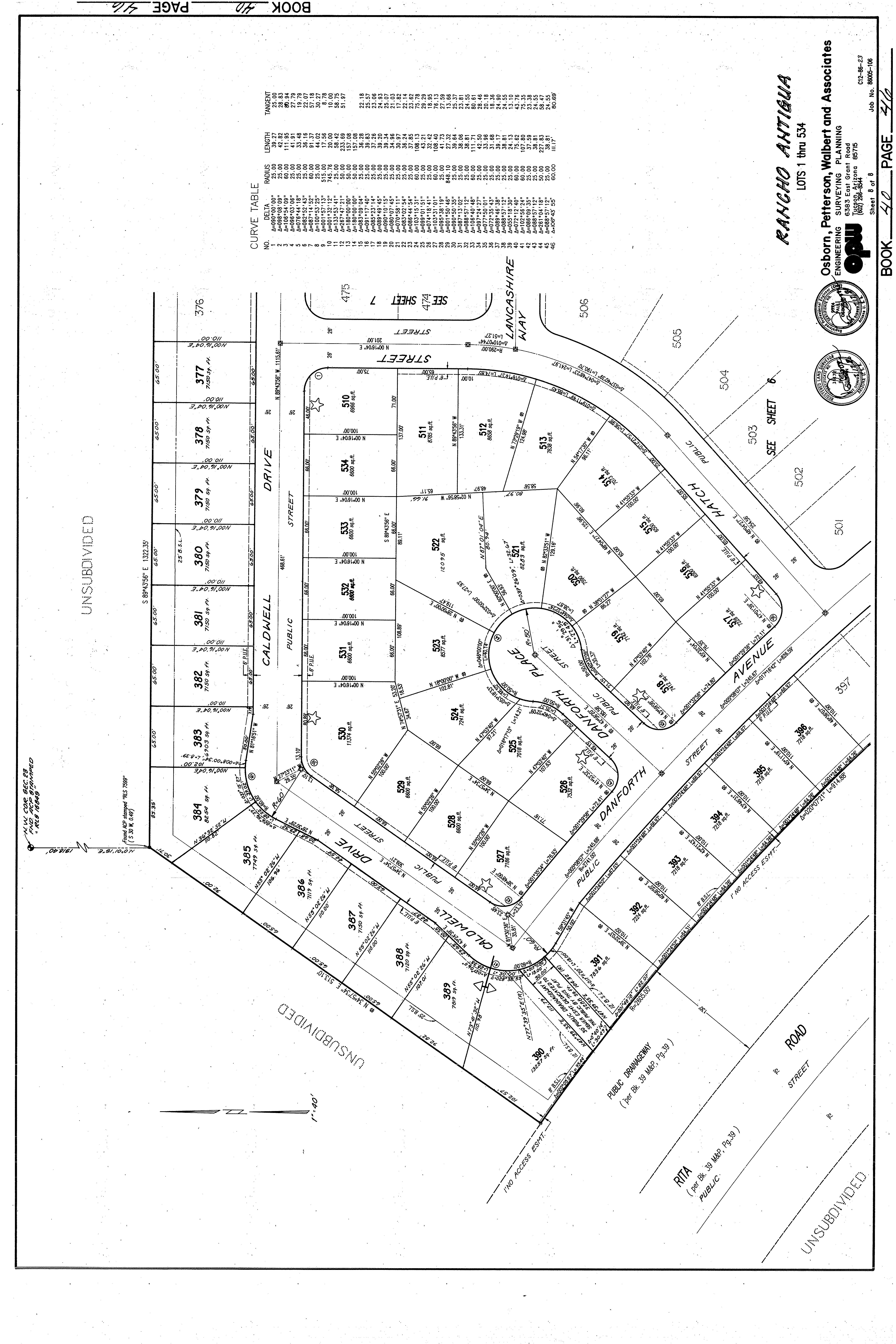
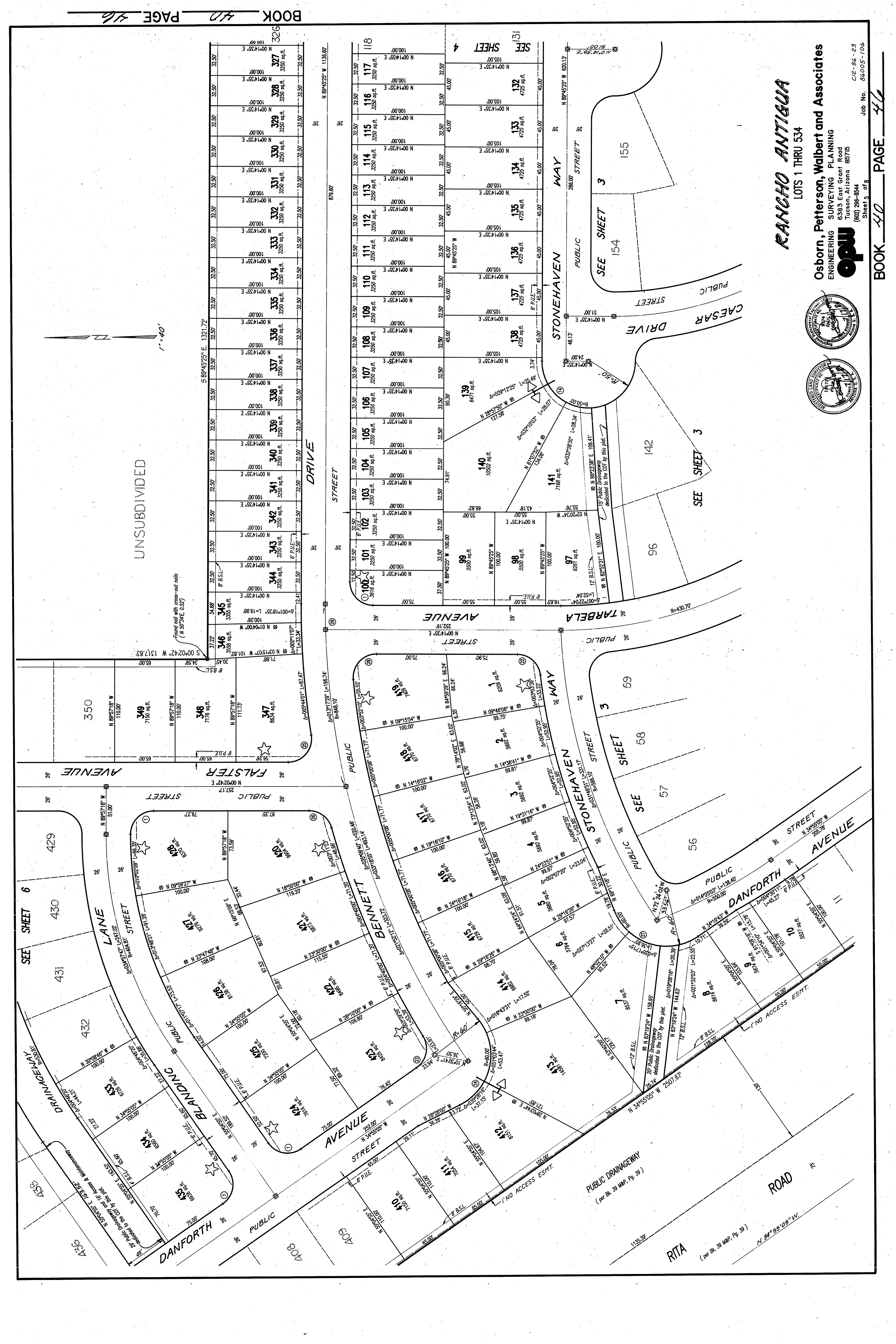
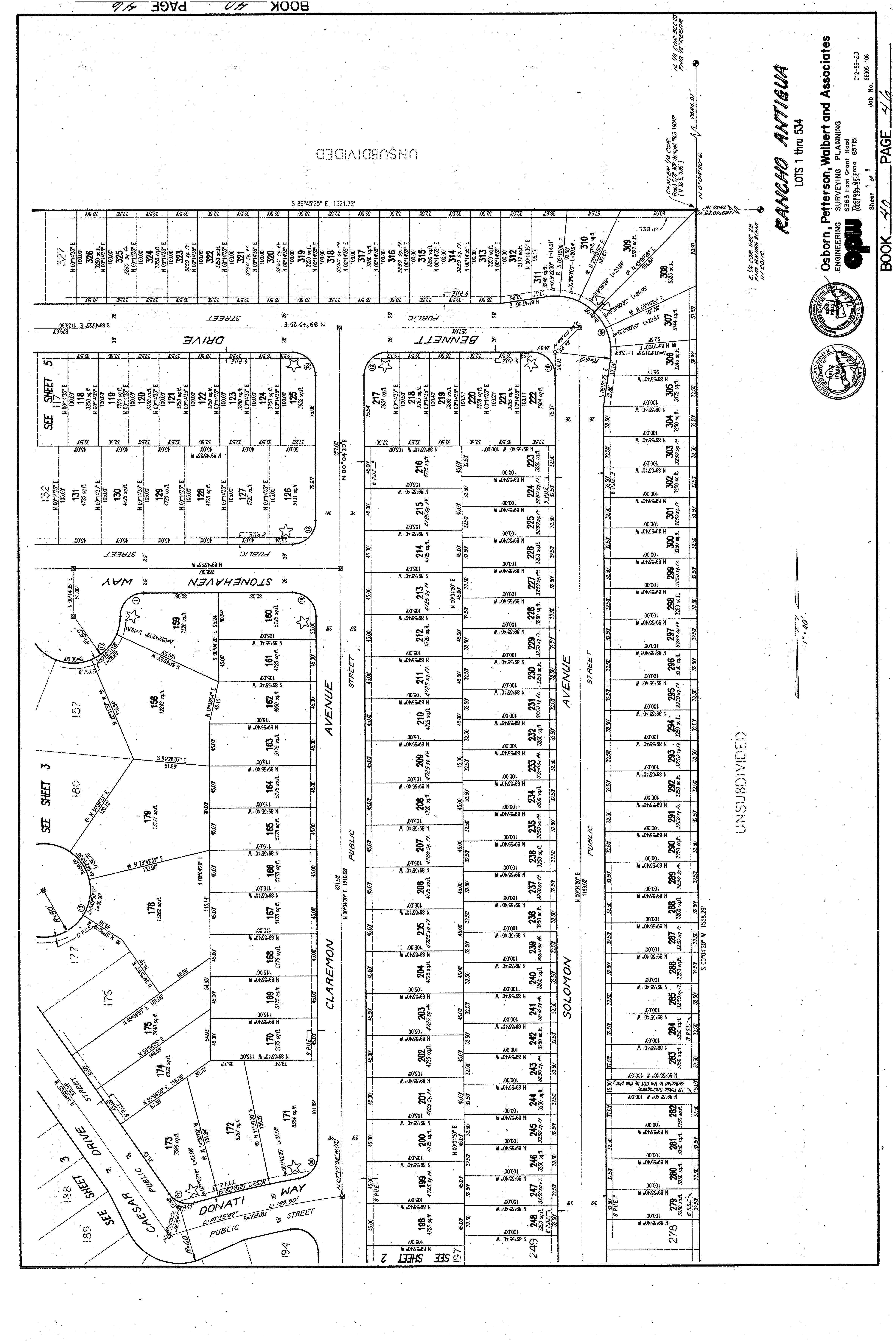
Skip to main content

Digital CCRS 9631 E Azuma Way

Page 1


Turn static files into dynamic content formats.

Create a flipbook