
GIFT EXCHANGE Cariboo-Prince George MP Todd Doherty and two-time Olympic bronze medallist Meryeta O’Dine exchanged gifts Saturday at Canada Games Plaza during the PG Olympic Celebration event.
![]()

GIFT EXCHANGE Cariboo-Prince George MP Todd Doherty and two-time Olympic bronze medallist Meryeta O’Dine exchanged gifts Saturday at Canada Games Plaza during the PG Olympic Celebration event.
ARTHUR
WILLIAMS Citizen staff
A local dentist is looking to build a three-story medical building on vacant land at the corner of Highways 16 and 97.
City council approved the third reading of a bylaw to rezone the 1.56-acre vacant lot south of the Prince



George Playhouse on Monday night, following a public hearing.
Dr. Jas Pahal of Hart Dental and his wife initially looked at building a dental practice on the site, but the amount of interest from other local healthcare professionals in the city prompted them to look at a larger development, Pahal told council.
See ‘IT WOULD BE A BIT OF A HUB’, page 5





CENTRE •MARCH 19-27 SCAN TO GET YOUR TICKETS or go to www.curling.ca/2022worldwomen/tickets/
The mother of a local man, who was hit by a car while crossing the street, says she doesn’t wish her experience on any parent.
Marnie Phair is unvaccinated and was not able to visit her 30-year-old son Matthew when he was admitted to the intensive care unit at the University Hospital of Northern B.C.
Matthew was on his way home from his Special Olympics swim practice on Feb. 9 when he was hit in a crosswalk on 15th Avenue and Jarvis Street shortly before 6 p.m.
Phair says not being able to visit her son was especially concerning for her because he is developmentally delayed, now suffering from a major concussion, and wasn’t able to understand why his mother couldn’t be there for him.
“I had sent an email to the hospital and contacted them as best as I could and asked if there was any chance that because I am unvaccinated, if they could make a way for me to come in and see him,” said Phair.
“I was really upfront that I’m not vaccinated but I would be willing to take a PCR test or do whatever was needed. I would have put on full hazmat if that’s what was required just to go in and to be able to see my son and to just bring in the comfort that his mom loves him,” she said.
Phair said when her son was moved from ICU and into another unit, she was told that because she was not vaccinated there was absolutely no provision that could be made for her to see him as he was in a stable condition at that point.
She says that her son did have a caregiver that was coming to help him and that was one of the reasons why she wasn’t allowed to visit him, but mostly because she was not vaccinated.
See ‘EVERYBODY GETS TO MAKE CHOICES’, page 4


WHAT:
Public Hearings regarding:
•Proposed amendment to “City of Prince George Official Community Plan Bylaw No. 8383, 2011”
•Proposed amendment to “City of Prince George Zoning Bylaw No. 7850, 2007”
•Proposed Discharge of Land Use Contract
City Council consideration of:
•Proposed “City of Prince George Pharaoh Road Road ClosureBylaw No. 9223, 2021”
WHEN:
Monday,March 14, 2022
WHERE:
Council Chambers of City Hall, 2nd Floor,1100 Patricia Boulevard, Prince George, BC PROPOSALS:
1. “City of Prince George Pharaoh Road Road ClosureBylaw No. 9223, 2021”
Applicant: City of Prince George
Time: 6:00 p.m.
Pursuant to section 40 of the Community Charter,the City of Prince George intends to close an approximate 0.160 ha (hectares) portion of road as shown on Reference Plan EPP113217 dedicated on Plan 14133, adjacent to the property legally described as Parcel A, District Lot 2098, Cariboo District, Plan PGP36956 and remove the road dedication, as shown outlined in bold black on the Location Map #1 below
The purpose of the road closureistoenable the sale of the closed road area to the adjacent property owners. The proposed closureand sale provides the property owners the ability to consolidate the closed road area with their adjacent property

Location Map #1
Pharaoh Road Closure
2. “City of Prince George Authorization Issuance Land Use Contract No. LU 28-76, Bylaw No. 2910, 1976, Discharge Bylaw No. 9225, 2021”
Applicants: L&M Engineering Ltd. for 101178167 Saskatchewan Ltd. and 101100639 Saskatchewan Ltd.
Subject Property: WesternRoad (PID: 011-520-949)
Time: 7:00 p.m.
Bylaw No. 9225, 2021 proposes to discharge the Land Use Contract registered on title of the subject property under the Land Title and Survey Authority registration number: M12699, as shown on Appendix “A” to Bylaw No. 9225, 2021.
The registered Land Use Contract restricts land use, development regulations, infrastructure and futuresubdivision of the subject property.The purpose of this application is to discharge the Land Use Contract thereby allowing the subject property to be regulated under the “City of Prince George Zoning Bylaw No. 7850, 2007”. The property owners arecurrently in the process of developing a10-lot rural residential subdivision that is in accordance with the current AR3: Rural Residential zone on the subject property
The proposed Bylaw applies to the property legally described as The South West ¼ofDistrict Lot 625, Cariboo District, Except Plans H705, 13483, 13646, 14296, 18560, 25988, 25989 and 33086, as shown outlined in bold black on the following Location Map #2.
CORRAL RD
CANTLE DR

Location Map #2 WesternRoad (PID: 011-520-949)
3. “City of Prince George Official Community Plan Bylaw No. 8383, 2011, Amendment Bylaw No. 9202, 2021” and “City of Prince George Zoning Bylaw No. 7850, 2007, Amendment Bylaw No. 9203, 2021”
Applicant: McWalter Consulting Limited for 1127415 B.C. Ltd., Inc. No. BC1127415
Subject Property: 9048 Sintich Road
Time: 7:00 p.m.
The purpose of these applications is to amend the Official Community Plan and Zoning Bylaw to facilitate the development of ahydrogen service station and contractor service on the subject property located at 9048 Sintich Road.
3.1. “City of Prince George Official Community Plan Bylaw No. 8383, 2011, Amendment Bylaw No. 9202, 2021”
Bylaw No. 9202, 2021 proposes to amend “Schedule B-6: FutureLand Use” of “City of Prince George Official Community Plan Bylaw No. 8383, 2011” by re-designating the subject property from Light Industrial (1.5 hectares) and Rural Resource (2.5 hectares) to Light Industrial as shown on Appendix “A” to Bylaw No. 9202, 2021.
3.2. “City of Prince George Zoning Bylaw No. 7850, 2007, Amendment Bylaw No. 9203, 2021”
Bylaw No. 9203, 2021 proposes to amend “City of Prince George Zoning Bylaw No. 7850, 2007” by rezoning the subject property from M2: General Industrial (1.5 hectares) and AF: Agricultureand Forestry (2.5 hectares) to M2: General Industrial as shown on Appendix “A” to Bylaw No. 9203, 2021.
The subject bylaws apply to the property legally described as Lot 1, District Lot 751, Cariboo District, Plan 14660, Except Plan 22376, as shown outlined in bold black on Location Map #3 below

Location Map #3 9048 Sintich Road
Residents who believe their interest in property is affected by the proposed Bylaws areinvited to provide comments to Council by the methods noted below
Residents wishing to provide comments to Council on the following Bylaw may only do so by submitting comments in writing:
•“City of Prince George Pharaoh Road Road ClosureBylaw No. 9223, 2021”.
Residents wishing to provide comments to Council on the following Bylaws may do so by submitting comments in writing, via telephone, or in person during the Public Hearing:
•“City of Prince George Authorization Issuance Land Use Contract No. LU 28-76, Bylaw No. 2910, 1976, Discharge Bylaw No. 9225, 2021”;
•“City of Prince George Official Community Plan Bylaw No. 8383, 2011, Amendment Bylaw No. 9202, 2021”; and
•“City of Prince George Zoning Bylaw No. 7850, 2007, Amendment Bylaw No. 9203, 2021”.
For written comments to be included on the agenda for Council’sreview in advance of their consideration of the Bylaws, they must be received by the Corporate Officer no later than 5:00 p.m., Tuesday,March 8, 2022.Written submissions received after the noted deadline and before 3:00 p.m., Monday,March 14, 2022 will be provided to Council on the day of the meeting for their consideration during deliberations on the application.
Written comments may be sent by email to cityclerk@princegeorge.ca, faxed to (250)561-0183, or mailed or delivered to the address noted on the bottom of this Notice.
Written submissions will form part of the Council agenda, become public record, and areposted on the City’swebsite. By making awritten submission you areconsenting to the disclosureofany personal information that you provide.
ATTEND BY TELEPHONE
Public hearings arescheduled for 7:00 p.m. on Monday,March 14, 2022. To participate via telephone, residents arerecommended to dial into the meeting at least 10 minutes beforethe start time of the Public Hearing by dialing 1-877-708-3350, Access Code: 1269574#.
ATTEND IN PERSON
Residents who wish to speak to Council in person can do so during the Public Hearing in Council Chambers on the 2nd Floor of City Hall at 7:00 p.m. on Monday,March 14, 2022.
The City of Prince George follows the orders of the Provincial Health Officer and guidelines regarding gatherings and events. When Public Hearings arerequired to be held, measures have been put in place to support the health and safety of members of the public attending the Public Hearing to provide comments.
City of Prince George open Council meetings arepublic and may be televised, streamed live by webcast, recorded, and archived on the City’swebsite for viewing by the public. By attending an open Council meeting or making asubmission at apublic hearing you areconsenting to the disclosureofany personal information that you provide.
For moredetailed information on providing submissions to Council, please visit www.princegeorge.ca/publichearings.
Authority
Personal information is collected under the authority of section 26(g) and disclosed under the authority of section 33.1(1) of the Freedom of Information and Protection of Privacy Act (FIPPA). For information or questions, contact the City’sFIPPACoordinator at (250)561-7600 or 1100 Patricia Boulevard, Prince George, BC, V2L 3V9.
NEED MORE INFORMATION?
Acopy of the proposed Bylaws and other related documents will be available for review by the public on the City’swebsite www.princegeorge.ca under ‘News and Notices’ beginning Wednesday,March 2, 2022.These documents may also be reviewed at the Development Services office on the 2nd Floor of City Hall on March 2, 3, 4, 7, 8, 9, 10, 11, and 14, 2022 between the hours of 8:30 a.m. and 5:00 p.m.
WHO CAN ISPEAK TO?
For moreinformation, please contact Development Services in person, by telephone at (250)561-7611, or by email to devserv@princegeorge.ca
For questions related to Council Meeting participation and procedures, please contact the Legislative Services Division by telephone (250)561-7793 or by email to cityclerk@princegeorge.ca.
The City is seeking residents interested in serving on the Advisory Committee on Council Remuneration.
The City is accepting applications to fill five (5) positions for aterm that begins upon Council appointment in April 2022 and ends upon presentation of final committee recommendations at a regular Council meeting beforeJune 30, 2022.
The primary purpose of the Committee is to review and make recommendations to City Council on remuneration such as wages, expenses, and benefits outlined in the “City of Prince George Council Remuneration Bylaw No. 8414, 2012” for the Mayor and Councillors and to provide recommendations on aremuneration structurefor implementation in January 2023.
In addition to being available to attend committee meetings scheduled between the hours of 8:30 a.m. and 5:00 p.m., Monday to Friday,applicants should ensurethey meet the following eligibility requirements:
•Must be electors of the City of Prince George;
•Must be available to serve for the full term of the appointment; and
•May not be employees of the City of Prince George.
Application forms may be completed and submitted online (www.princegeorge.ca/committees), picked up from and delivered to the Legislative Services Division, 5th Floor,City Hall, or emailed to legislativeservices@princegeorge.ca. Applicants arealso encouraged to submit astatement and/or resume detailing their interest and qualifications related to the purpose of the Committee.
Deadline for Applications: 5:00 p.m., Friday,March 18, 2022
For any questions, or to have an application form mailed to you, please contact the Legislative Services Department at (250) 561-7655 or legislativeservices@princegeorge.ca.
Continued from page 1
“It was probably one of the worst experiences I’ve ever had in my life,” said Phair, adding that her son received excellent care from hospital staff, but the seperation was devastating for both.
“Just to not have that assurance that his mom isn’t there because she doesn’t love him. His mom isn’t there because she’s not allowed to be and that’s a hard one because you can’t explain that to someone that can’t understand.”
Phair explained she chose not to get the COVID-19 vaccine because she is a person of faith and had a conviction in her heart that getting vaccinated wasn’t something she felt called to do.
“Everybody gets to make choices in life, and the choices they make are based on their own beliefs and their own values and I’m making mine based on my own beliefs and my own values,” said Phair.
She says her son has now been discharged from the hospital and is back in his share home but he’s suffering from a broken clavicle and a severe concussion.
Phair says he’s not able to do a lot and has a long road ahead of him in terms of recovery.
“I understand my son’s situation was extremely unusual – but there needs to be a means to enable family to be able to visit their loved ones when there is a critical incident such as this. I understand you want to have it for the better good of all around, but there can be some precautions that will be taken, so you can ensure the safety of all,” said Phair.
“No parent ever wants to get a phone call to say that
their child has been hurt and you spent an entire night not knowing because you don’t get the phone call from the hospital or have that information from the doctor and wondering the next day if you child will be alive or not.”
A spokesperson for Northern Health said the organization was unable to comment on specific cases, but that UHNBC acute care sites are following the B.C. Ministry of Health guidelines.
“Visitation restrictions aim to protect patients, healthcare workers, and the public in acute care facilities from COVID-19, while continuing to ensure that patients are provided with essential supports to ensure safe and supportive care,” states the guidelines.
The ministry says that in recognition of the added layer of protection provided by the COVID-19 vaccines and given the vulnerability of patients in acute care even when fully vaccinated themselves, individuals visiting acute care facilities must be fully vaccinated against COVID-19.
Visitors who do not demonstrate that they are fully vaccinated will not be able to enter a facility, which includes passing through the facility to access an outdoor space.
While there are guidelines for specific care settings where vaccination requirements do not apply, such as when death is anticipated as imminent, the guidelines also note that all visitation in the emergency department and the intensive car unit is at the discretion of the clinical team because conditions in these settings can change rapidly.

The ministry says that visitors and patients can also request a review of any decisions made related to visitor status through the health authority’s Patient Care Quality Office.

Continued from page 1
“It would be a bit of a hub for Prince George and even the north,” Pahal said. “We have a lot of patients coming from Mackenzie, McBride, Valemount, etc.”
In a written report to city council, Pahal said the 3,162 sq. metre (34,000 sq. foot) facility will include a mix of commercial on the main floor, and health care and professional offices above. A wellness centre is expected to occupy the entire second floor.
The building may include some more general commercial services like a pharmacy or coffee shop on the main floor, but would look to attract healthcare professionals like dentists, chiropractors, physiotherapists, and others, he said.
“The proposed Health Professional Centre will be an incredibly attractive building with spectacular, modern facades facing both Highway 16 and Recplace Drive. Given the prominent building location, particular attention has been paid to the easterly Highway 16 façade with quality landscaping and attractive lighting and signage,” the written report said.
Access to the facility would be from Recplace Drive, and the site plan includes up to 139 parking stalls.



by Ernest Thompson

The developer is seeking to the have the site rezoned to the C2 zoning, which is the same as the Victoria Medical Building.
Construction was expected to begin this summer and completed in the spring or summer of 2023.
Council unanimously supported the project.
“I think this is exactly what this area needs,” Coun. Cori Ramsay said.
Mayor Lyn Hall said the development ticks all the boxes for him – it is infill, will provide space for healthcare professionals which are needed in the city and will be an attractive addition to a busy location in the city.
“This definitely looks beautiful,” Coun. Kyle Sampson said. “To have a professional (building) development in that hub… is definitely welcome.”
Coun. Brian Skakun did raise concerns about the traffic flow on Recplace Drive, because of the speed bump where the road enters the back of the Pine Centre Mall parking lot.
However, he said, it is a welcome investment that will create jobs in the city both during construction and after completion.

















What: PublicHearingregardingZoningBylawNo.2892, AmendmentBylawNo.3244,2021
When and Where:
6:00pm,Thursday,March17,2022
Viatelephoneconferencecallandinpersonattendance
Thepublichearingwillbechairedbyadelegateofthe RegionalDistrictBoard.
Applicant: RegionalDistrictofFraser-FortGeorge
Proposal: ZoningBylawNo.2892,AmendmentBylawNo. 3244,2021isproposedtoamendallresidential,commercial, industrial,andinstitutionalzonesthatcurrentlyregulate theminimumfloorareaofthefirststoreyofadwellingunit. Ineachzonetheminimumfloorarearegulationwillbe removedandreplacedwiththefollowing:“Theminimumfloor areaofadwellingunitistoconformtoBCBuildingCode requirements.”
How can Iparticipate and provide comment?
Anyonewhobelievesthattheirinterestinlandisaffected bytheproposedbylawshallbeaffordedareasonable opportunitytobeheardatthepublichearingortopresent writtencommentspriortooratthepublichearingregarding matterscontainedinthebylaws.
Attendanceatpublichearingsmustfollowprovincialhealth orders.Telephoneattendanceisencouragedduetolimited roomcapacity.Masksarerequired.
Attend through telephone conference call: Contactthe RegionalDistrictat250-960-4400or developmentservices@rdffg.bc.caforthetelephone conferencenumberandinstructions
Attend in person: Membersofthepublicinterestedin participatinginthepublichearinginpersonmayattendthe publichearingat:
Regional District BoardRoom 155 George Street, Prince George BC
Submit written comments: Writtencommentswillbe acceptedbytheRegionalDistrictinadvanceofthepublic hearinguntil9:00amonMarch17,2022by: Email: developmentservices@rdffg.bc.ca Hand/Mail: 155GeorgeStreet,PrinceGeorge,BCV2L1P8 Fax: 250-562-8676
Writtencommentsreceivedbefore9:00amonMarch17, 2022(dayofthepublichearing)willbepostedtotheRegional District’swebsite.
Writtencommentswillbeacceptedafter9:00amonMarch 17,2022(dayofthepublichearing)anduntilthecloseofthe publichearingby email only: developmentservices@rdffg.bc.ca
Anymaterialreceivedbeforeoratthepublichearingwill becomepublicinformation.
Need moreinfo? AcopyoftheproposedBylawandany relevantbackgroundmaterialsareavailableforreviewbythe publicontheRegionalDistrict’swebsiteat http://www.rdffg.bc.ca/services/development/land-useplanning/current-applications/orattheRegionalDistrict office,byappointmentonly,MondaythroughFriday,8:00 a.m.to4:30p.m.,betweenFebruary24andMarch17,2022. TomakeanappointmentcontacttheRegionalDistrictat developmentservices@rdffg.bc.caorat250-960-4400.
Who can Ispeak to? DevelopmentServices,250-960-4400
What: Public Hearing regarding Zoning Bylaw No. 2892, Amendment Bylaw No. 3234, 2021
When and Where:
7:00 pm, Thursday,March 17, 2022
Viatelephone conference call and in person attendance
The public hearing will be chaired by adelegate of the Regional District Board.
Applicant: Allen and Barry Work
Proposal: Zoning Bylaw No 2892, Amendment Bylaw No. 3234, 2021 is proposed to reduce the minimum site area required for a Cannabis Production use from 259.0 ha to 4.0 ha on the subject property on asite-specific basis. The property is legally described as Lot 30 District Lot 4633 Cariboo District Plan 24152, Except Part Subdivided By Plan BCP39147. The property is located at 10495 Horseshoe Drive.

How can Iparticipate and provide comment?
Anyone who believes that their interest in land is affected by the proposed bylaw shall be afforded areasonable opportunity to be heardatthe public hearing or to present written comments prior to or at the public hearing regarding matters contained in the bylaws.
Attendance at public hearings must follow provincial health orders. Telephone attendance is encouraged due to limited room capacity Masks arerequired.
Attend through telephone conference call: Contact the Regional District at 250-960-4400 or developmentservices@rdffg.bc.ca for the telephone conference number and instructions
Attend in person: Members of the public interested in participating in the public hearing in person may attend the public hearing at: Regional District BoardRoom 155 George Street, Prince George BC
Submit written comments: Written comments will be accepted by the Regional District in advance of the public hearing until 9:00 am on March 17, 2022 by: Email: developmentservices@rdffg.bc.ca
Hand/Mail: 155 George Street, Prince George, BC V2L 1P8 Fax: 250-562-8676
Written comments received before9:00 am on March 17, 2022 (day of the public hearing) will be posted to the Regional District’s website.
Written comments will be accepted after 9:00 am on March 17, 2022 (day of the public hearing) and until the close of the public hearing by email only: developmentservices@rdffg.bc.ca
Any material received beforeoratthe public hearing will become public information.
Need moreinfo? Acopy of the proposed Bylaw and any relevant background materials areavailable for review by the public on the Regional District’swebsite at http://www.rdffg.bc.ca/services/development/land-useplanning/current-applications/ or at the Regional District office, by appointment only,Monday through Friday,8:00 a.m. to 4:30 p.m., between February 24 and March 17, 2022. To make an appointment contact the Regional District at developmentservices@rdffg.bc.ca or at 250-960-4400. Who can Ispeak to? Daniel Burke, Planner II, 250-960-4400

TED CLARKE Citizen staff
Nick Vukovic knows the agony of war and what it’s like to be other side of the world while his homeland and its people were being destroyed by conflict.
For four years from 1991-95, while Croatia fought to gain independence from the former Yugoslavia, Vukovic was in Prince George feeling powerless to help his family and friends in their efforts to survive.
The Russian invasion of Ukraine has stirred those painful memories in Vukovic and he felt compelled to join the noon-hour protest Sunday at Prince George city hall to show he stands behind the Ukrainian people and the worldwide outrage at what is now tearing that county apart.
“All of my family was there in Croatia and it is hard to believe what people can go through,” said Vukovic. “At that time I thought it was the last war in Europe, but unfortunately it didn’t happen that way and the reason for that - I have no idea that in the 21st century we have to solve a problem with a war. It’s not the right way to do it. Today you can have everything and another day you’re fighting for your dear lives and you have nothing. That’s what the Ukrainians are going through right now. So many young lives are being destroyed.”
The rally was organized by the Ukrainian St. George’s Catholic Church priest Andrii Chornenkyii, and a crowd of about 250 people gathered, including Mayor Lyn Hall, who was given a Ukrainian flag which will be raised at city hall on Tuesday at 10:30 a.m.
Galynie Chornenkyii, Father Andrii’s wife, began the speeches by singing the Ukrainian national anthem – She ne vmerla Ukrainia – which translated in English means, “Glory and freedom of Ukraine has not yet perished.”
Similar protests have been ongoing throughout the world and Andrii Chornenkyii said it didn’t matter that it was hundreds rather than thousands of people in Prince George who attended the rally.
“It’s not about the number, it’s about what is in your heart,” he said. “It’s not a thousand, but I know the people who are here, their heart is truly with Ukrainians and that’s what is most important to me. They came here and they are not bystanders, their hearts are full of love and support for Ukraine and this makes me happy to see them here. They represent different countries, different generations, different cultures and I’m really touched.”
Members of the University Hospital of Northern B.C Traditional Drummers were invited by Father Andrii to attend the protest and they offered a sweetgrass blessing and performed the Grandmothers Song, among other traditional songs, to show their solidarity.




“We are far, far away but our voices are being heard with the families that are suffering,” said drummer Wesley Mitchell, who is hopeful international economic sanctions and the rest of the world agreeing to sever banking ties to Russia will have the desired effects.

PacificBioEnergyCorporation (PacBio) wishesto thank itsemployees, contractors, suppliers, andthe community for27years of dedicationand support. PacBio announced late last year that it will cease operationsbythe endofMarch. We arenow focusedonthis toughtask andwill be shutting downourproductionoperations shortly
Ourcurrent andpast employees arerightly proudofPacBio’s historyofinnovationand leadership in thewood pellet industry TheCompany wasa pioneerinthe industry when it beganin1994 andhelped shut down bee-hive burners. TheCompany organizedthe first bulk shipmentofindustrial pelletstoEuropein1998.PacBio movedand expandedtoits currentsitein2007 andthen doubledits capacity in 2010.
Meanwhile, PacBio andExcel pioneeredgrindingforestry slashpiles whichhas prevented theburningofmore than a milliontonsofslash around Prince George. Since2011, PacBiosuppliedpelletstoUNBC helping it become ‘Canada’s GreenUniversity’
In 2014, we partneredwiththe NazkoFirst Nation to pursue wood chippingand sustainable projects. We planted536,000 treesin2021 on wildfire ravaged Nazkoterritory andanother 1.4 milliontrees in PG. We also conductedwildfire abatement projectstobetterprotect the Nazkocommunity
We partneredwithCanfor to developpellet plants in Chetwynd andFortSt. John whichbecame operational in 2016. Sumitomo Corporation investedin2017aswepivotedto
themarketinJapan.In2020, we harvesteddead, burnt fibre from the2017Bobtailfirewhichledto planting twomillionseedlings over the2020 and2021 planting seasons
Thecreativityand dedication of ourteamtoachieve these milestonesresultedinthe production of over fourmillion tonnes of clean, renewablefuel that wasconsumedhereat home andaroundthe world. Ourteamhas shown remarkable dedication, especiallyrecently, as we successfullycompleted ourmission, andwewantto recognize thesupportofour families. We aregoing to miss workingwithcontractors and suppliersbut most of all our fellow employees. Dayinand dayoutwesupportedeachother, made sure everyone wassafe, andwehavealot to be proudof as we look forwardtothe future.



I would like to send out a thank you to everyone that purchased my 2022 art calendars featuring paintings of old vehicles photographed mainly in the bush, on driveways and in fields of B.C. The sales campaign was a huge success and raised $3,400 for The B.C. Children’s Hospital Foundation. Thank you to The Prince George Citizen, Staples Office Supplies, Omineca Art Centre, Studio 2880, Books and Co. and the Federation of Canadian Artists for helping to make this possible
Rick Mintz, Prince George
LETTERS WELCOME: Send your submissions by e-mail to: letters@pgcitizen.ca. Handwritten letters will not be published. We will edit letters only to ensure clarity, good taste, for legal reasons, and occasionally for length. Although we will not include your address and telephone number in the paper, we need both for verification purposes. Unsigned letters will not be published.

My family fled Ukraine via Poland to Canada during the Russian Revolution to escape similar violence seen on our television screens this week. On Feb. 24, while my heartache was fueled by my family’s Ukrainian-Russian roots, we witnessed a global reaction that was grossly reserved in responding to these events for what they are: a move towards a world war that threatens us all. I feel great empathy for the separatist movements in Donbas as having been long distinct from the western regions. In the truest spirit of self-determination, a majority separatist movement deserves to annex International borders have long been molded by whoever lifted their leg on the fire hydrant last. Russia and Ukraine have been culturally and geopolitically intertwined for over 10 centuries, including by means of forcible Russification of the Ukrainian people through starvation, language and religious persecution. With eastern Ukraine having a deeper history of direct Russian-influence, as well as natural landscape and resource deposits differing by a near
diagonal ecological demarcation between the east-west, it has resulted in distinct prominence of Russian culture, language and identity amongst the Donbas peoples.
Donetsk and Luhansk have been recognized as independent republics with various self-rule means by Ukraine, Russia and NATO allies since 2014-15 under the Minsk agreements. These same agreements saw the complete annexation of Crimea, now being used as a southern frontline base for Russian forces this week. These peace agreements have never excused Russia’s manipulation and its intent of taking advantage of Donbas’ separatist history. They have been propelled through Russian state-media propaganda, political intimidation and economic manipulations.
President Vladimir Putin’s actions of Soviet nostalgia are not out of respect for the Donbas peoples self-determination. They are for iron and ore. They are for military and political positioning. They are for precedent of warfare, last seen when Hitler invaded Poland under the guise of persecution to the German people that officially began the Second World
War. Donbas separatists have always been pawns in a larger scheme.
‘Now’ is the perfect time for Russia to officially move across the board. Global information platforms are at an all-time algorithmic priority of division and misinformation. G7 leaders are on their heels, with low approval ratings of President Joe Biden heading into U.S. midterm elections; a new German Chancellor; French Prime Minister Macron heading into a federal election; and U.K. Prime Minister Boris Johnson globally viewed as incapable.
Russia recently commended China as a global super-ally. In addition to exhaustion of the global population after two years of a widespread pandemic. People around the world are desperate for an end to bad news and willing to not pay attention for emotional self-preservation Threats of sanctions did not prevent the invasion of Ukraine, just as the announcements of globally-coordinated sanctions in response to the invasion will amount to nothing. Russia will continue to take every inch they are given until it totals the mile. With NATO allies refusing to respond in equal military action within
Ukraine, Russia will use this as precedent to move into other non-NATO border countries for their military positioning. With this clear timeline that mirrors history, an appropriate show of force is required.
A geopolitical system ran by aggression, where ‘might makes right’, threatens everyone. The moment we surrender the ideals of an international legal order is the moment the consequences arrive at our doorstep. Putin has loudly threatened consequences of direct military interference because it’s the strongest possible point of opposition against their current movements and means to intimidate his supporters. Where your enemy says don’t go: you go.
Canada has the largest population of Ukrainians in the world, outside Ukraine and Russia. These criticisms of the current global response and my prayers for military intervention are not made with bystander intentions. I write this as someone willing to fight to prevent what my family had to run from and urge fellow Canadians to think deeply about if they would stand up to prevent the same Sydney Redpath, Prince George
We acknowledge the financial support of the government of Canada. Nous reconnaissons l’appli financier du gouvernement du Canada.




As I sat down to work on my column about the vital need for tolerance in a free society, something I couldn’t have planned happened to provide a better perspective: CBC parliamentary bureau reporter Ashley Burke tweeted that while she was covering the protest camp at Arnprior, Ont., her van had slid into the ditch. A demonstrator named Tyson Garneau wearing a “Defund the CBC” hat towed her out.
Garneau said he’d never leave anyone stuck like that That included someone working for the CBC, someone whose employer he wants to be shut down. He could have sat back and laughed as his “adversary” was helpless. He could have left her to wait for a tow truck, wasting her day, limiting her ability to

KLASSEN
do her job, and making her late to take her kids to their after-school lessons. Instead, he helped her.
Decency means “marked by moral integrity, kindness, and goodwill,” and Garneau has decency.
Burke could have kept the story to herself. Having a demonstrator help her was, after all, contrary to much of the reporting by CBC reporters about the character of the demonstrators. Also, CBC was not popular at the protest and their reporters were often treated badly
The abuser in any dysfunctional relationship will always say they are doing it for the good of the person being abused. “This is for your own good…” is language which trips off their tongue And it never is.
Consider Russian President Vladimir Putin’s justification for his war in the Ukraine He is there as a “peacekeeper” defending Ukrainians from a “genocide” being committed by their own government. He is doing this to free the people from Ukrainian President Volodymy Zelensky’s government which he has describe as a “gang of drug adducts and neo-Nazis who occupied Kyiv and took the entire Ukrainian people hostage.”
There is no question this is an abusive mentality. Little doubt about Putin’s intent. He is, to put it simply, a bully with the desire to impose his will and his way on anyone he can. After

all, this isn’t the first time he has done this and it won’t be the last if he is not stopped right now
He is being aided in his efforts by disinformation spread through social media. Sure, you would expect the official party line and official soviet news agency to support Putin’s efforts. But to watch right wing news organizations in the United States and elsewhere toeing the line is truly amazing.
Fox News’ Tucker Carlson asking “Why are we against Putin? What has he ever done to me?” is asinine and his statement “Ukraine isn’t a democracy” is further testimony to his ignorance.
by some of them The story about Garneau showing decency would then either have never been told or simply become part of the mythology mass demonstrations produce. No outsider could have been certain it happened. But Burke did tweet it, because she has decency.
My original thought was to write about tolerance, but it has become a loaded, misconstrued word, too often, ironically, used to declare our moral superiority over someone we consider less tolerant. We can disagree, and argue, and even protest against each other, but without decency we are slaves to what makes us different. Let’s be decent
Trudy Klassen is a Prince George writer.
Should we have fewer MLAs in Central and Northern B.C.? Do you think Russia should be banned from playing at the World Women’s Curling Championship? Vote by pointing your phone’s camera at the QR code below.

from last week’s polls:
Former Trump advisor Steve Bannon has said much the same: “Ukraine’s not even a country. It’s kind of a concept… It’s just a corrupt area that the Clintons turned into a colony…”
The propaganda war on social media is so bad that fact checkers can’t keep up. Fake photos and stories are spread like wildfire around the globe on both sides of the conflict. Many Canadians and others around the world are connected to relatives and friends in Ukraine. It is only their direct social feed which can be trusted. We have come to the point where truth is malleable, journalism has been discredited and abusers are able to take advantage of this state of disbelief. After all, without objective truth, maybe they are doing it “for your own good.”
Todd Whitcombe is a chemistry professor at UNBC.
The world has been shocked by Vladimir Putin’s aggression in neighbouring Ukraine and we all watch in horror as millions of people are made to suffer. What lessons does the current situation reveal to us about our humanity?
The first is that we are capable of responding to people in need with empathy. The media coverage of the crisis has been constant, and the events are being followed all over the world. People want to help those in need and they want to see peace restored.
Not since the Vietnam War has the media been more effective in mobilizing populations to demand an end to aggression. Perhaps if there was more frequent coverage of other conflicts, we would see less unnecessary suffering. If we saw the same type of footage of families fleeing for safety in Iraq in 2003 or

GERRY CHIDIAC
today in Yemen, Syria, the Democratic Republic of the Congo, as well as many other countries, we would pressure our governments to develop a more compassionate foreign policy. If we noticed the families freezing though harsh winters in refugee camps, we would not have over 82 million forcibly displaced persons in the world in 2022. While manipulative leaders will try to draw ordinary citizens into supporting their views without question, it is important for individuals to focus on the truth of our common humanity. Fantasy crises and stories of fantasy
villains spun by propaganda machines fail to gain traction when they are met with healthy skepticism
We also need to remember that peaceful solutions to global tensions are not without precedence. While much of Europe remained heavily militarized throughout the Cold War, in 1955, all Allied occupying armies, including the Soviets, withdrew from Austria in exchange for an Austrian commitment to remain neutral. In 1962, the Cuban Missile Crisis ended because the Soviets agreed not to place ballistic missiles in Cuba and the Americans agreed to withdraw theirs from Turkey. Over the last centuries, Ukrainians have suffered greatly and unjustly from war and genocide. They deserve to live in peace, and we must find a way to make that happen.
Gerry Chidiac is a Prince George writer.
Do you feel the antimandate protesters tarnished the image of the Canadian flag?
● Yes, these protests made Canada an international embarrassment 535 votes, 33 per cent
● Yes, the flag should represent heroism, not hooliganism. 449 votes, 27 per cent
● No, the protesters aren’t true Canadian patriots. 95 votes, 6 per cent
● No, the protesters are true Canadian patriots. 557 votes, 34 per cent
● Yes, but I’ll even be happier when the organizers do jail time 590 votes, 36 per cent
● Yes, the police did a great job despite the abuse they received. 403 votes, 24 per cent
● Not sure - I’m just happy it ended peacefully. 86 votes, 5 per cent
● No, this was a peaceful protest. 574 votes, 35 per cent
MARK NIELSEN
Local Journalism Initiative Reporter
A Prince George man has been sentenced to a three-year jail term for possessing a “Stinger” grenade and an illegally-modified rifle.
Less credit for time served prior to sentencing, Keith Christopher Lundy, 43, will have 334 days left on the term and it will be concurrent to a federal sentence he is currently serving for drug offences.
Lundy had 650 days left on that sentence as of last Monday.


On the weapons counts, Lundy was arrested on Oct. 19, 2020 when a Prince George RCMP officer conducting a routine patrol in the area of Queensway and 17th noticed him driving a vehicle associated to Harjinder Berar. Both Lundy and Berar are well known to the police and courts. When the officer turned his vehicle around and activated his emergency lights, the vehicle sped away but, while deciding whether it was safe to pursue, he saw it turn into the parking lot of a convenience store on Queenway and the officer pulled in behind.

Lundy got out but was ordered to get back inside. Lundy complied but, in doing so, he threw a black bag into the back seat. The officer arrested Lundy on a counts of obstruction and failing to stop. It also turned out Lundy had been prohibited from driving at the time.
A subsequent search of the vehicle uncovered a “Stinger” grenade. Considered non-lethal, it’s case is made of two cases of hard rubber and filled with small rubber balls and is “designed to incapacitate a number of hostiles without causing death or serious injury,” according to
the Deadliest Warrior wiki. The officer also found a loaded and illegally-modified .22-calibre rifle with what turned out to be Lundy’s fingerprint on the grip end. Lundy subsequently pleaded guilty to two weapons-related counts from the incident which occurred prior to the one for which Lundy is currently serving time for the drug offences.
During a sentencing hearing, the court was told that Lundy is now incarcerated in the “right living unit,” has completed a number of programs and is interested in completing more going forward.
MARK NIELSEN
Local Journalism Initiative Reporter
Five people have been charged with drug-related offences in connection with a 2020 Prince George RCMP operation in which an underground bunker in Salmon Valley was among the targets.
area for the illicit sale of cannabis, shatter and edibles. Also located were advent calendars produced for distribution of illicit cannabis products.

What: Public Consultation regarding Temporary Use Permit No. 254
Owner: Lorie Atkinson
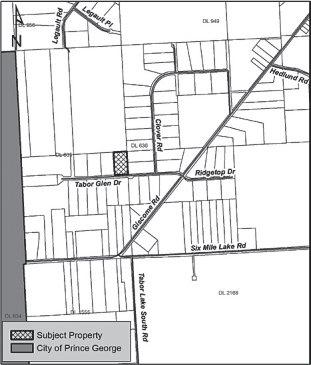
Proposal: The purpose of Temporary Use Permit No. 254istoallowfor astorage/warehouse facility use on the subject propertyfor up to athree (3) year period. The storage/warehousefacility useis associated with aparty supply rental company.The subjectproperty is legally described as Lot 5District Lot 635 Cariboo District Plan BCP18775 and is located at 9040 Tabor Glen Drive.

How can Iprovidecomment? Anyone whobelieves that their interest in land is affected by the proposed Permit shall be afforded areasonable opportunity to submit written comments prior to the Regional District Board consideringissuance of the Permit
Submit written comments:Written comments will be accepted by the Regional District until 9:00 a.m. on Tuesday,March 15,2022 by: Email: developmentservices@rdffg.bc.ca
Hand/Mail: 155 George Street, Prince George, BC V2L 1P8 Fax: 250-562-8676
Any material received will become public information.
Needmoreinfo? Acopyofthe proposed Permit and any relevant background materials areavailable forreviewbythe publiconthe Regional District’swebsite: http://www.rdffg.bc.ca/ services/development/land-use-planning/currentapplications/ or at the Regional District office, by appointmentonly,Monday through Friday,8:00 am to 4:30pm, betweenMarch 1and March 17, 2022.Tomakeanappointmentcontact theRegional District at 250-960-4400 or at developmentservices@rdffg.bc.ca
Decision by the Regional District Board: Following the publicconsultation, the Regional District Board will consider issuance of Temporary Use Permit No. 254 on Thursday,March 17, 2022 during the Regional District Boardmeeting which starts at 1:30 p.m. in the Regional District Board Room located at 155 George Street, Prince George, BC. Comments cannot be provided in personatthe meeting.
Whocan Ispeak to? RichardBuchan, Planner II, 250-960-4400
Kody Dwayne Mosser, Ericka Ostroski, Daryl Michael Tugnum and Robyn Ann Bradley have each been charged with one count of possession for the purpose of trafficking and Mavra Ashley Lode has been charged with possession of cannabis for the purpose of selling, Prince George RCMP said.
On Dec. 3, 2020, the street crew unit executed search warrants on properties in the 200-block of Harper Street, the 7000-block of Kingsley Crescent, on Iona Street near Old Summit Lake Road and on Marlin Drive in Salmon Valley.
At the Salmon Valley property, steel shipping containers had been placed in an underground bunker and tunneled into a hillside, RCMP said at the time.
Inside, police located an active psilocybin or magic mushroom grow operation; a cannabis oil extraction lab with commercial equipment and processing station; and a commercial grade packaging
At another spot police seized suspected cocaine packaged for resale, suspected steroids and prescription pills including Adderol, Cialis and Xaanax, another was “laid out like a pharmacy,” RCMP said, offering products such as suspected cocaine, prescription medications and illicit cannabis products, all in addition to a processing station for the cutting and re-packaging of cocaine for later sale.
In total, about 1.5 kilograms of cocaine, an abundance of prescription pills, hundreds of doses of steroids and thousands of doses of the party drug GHB were seized along with $35,600 in cash, a Dodge Ram 1500 and a 2020 GMC Canyon Denali.
“This investigation resulted in a large quantity of suspected illicit drugs and prescription pills being taken off of our streets,” Cpl. Jennifer Cooper said in a statement adding that police involved in the operation “put in tireless amounts of effort to get the investigation to this stage.”
All five accused are scheduled to make first appearances in Prince George provincial court on March 16.



One of the oldest andlargest collisionrepair shops in Prince George,the well-known localautobody shop CARSTAR Norgate, is under new ownership while maintainingthe same excellent servicethey have alwaysprovided.
In November 2021, Lift Auto Group acquired CARSTAR Norgate,changing its nametoCSN Norgate but maintaining the same high-qualitystaff and commitment to excellence
Previousowner Kent Berg, whose father started the business in 1960 and grew up working in the businessuntil he took over ownership, thought Lift wouldbethe best company to continue onhis family’s legacy.
“We built avery large collision repair centre that’s all tooled up, one of the most modern shops around, and Iamconfident it will continue to be agreat shop for a very long time.”
“This shop is an important part of the community,” Berg says. “Lift Auto Groupisagood, strong outfit that is growingthemselves, and they are good for Norgate.Ibelieve I’ve sold it to the right people, who can help it growand continue with the shop’s community involvement.”
The sale is part of anatural progression, aftertwo generations of hard work establishingatrusted destination forall collisionneeds.
“We built avery large collisionrepaircentre that’s all tooled up, one of the most modern shops around, and Iamconfident it will continuetobea great shop foravery long time,”Berg says.
While CSN Norgate is undernew ownership, the staff has remained largely the same, solong-time customers will have the added benefits of ongoing service from afamiliar team, with the benefit of additional resources providedbyjoiningthe CSN Collision CentresNetwork.
“A lot of the teamhas worked togetherfor over 20 years.Yes, there’s new ownership,but the tight-knit team thathas workedhere for years will remain. Nothing is changing,” CSN Norgate Office Coordinator, Marlene Yeomanssays Yeomanshas workedat the CSN Norgatelocation since 2006.
“Just like CSN Collision Centres,Norgate is aware of how quickly the industry is changing. The two companies hold very similarvalues,” Yeomans says. The CSN Collision Centres Network exists to assist independent collision repair facilities in enhancing

operations throughperformance assessments, ongoing training, and marketing initiatives.
“Cars are constantly evolving, and there are always new things to learn. CSN offers support and training so we can stay up-to-date on the latest best practices,” Yeomans says.
“The training they offer is great and so arethe insurancerelations. They work hard to build relationships with insurance companies so that we get the best people to deal with if we have any issueswith claims.”
Getting into acar accident can be overwhelming, especially for someone who has never dealt with any kind of collision repair before and is inexperienced in dealing with insurance companies.
Being atier 1ICBC shop, CSN Norgate is an expert when it comes to dealingwith ICBC claims. “We go aboveand beyond for our customers,” Yeomans says
“We work six days aweek. We stay late for our customers. Our technicians are all welltrained, and we’re constantly evolving, making sure we have all the new technology.”
If you’re in an accident,you can driveaway with peaceofmindknowing thatCSN Norgate has
delivered best-in-classservice to getyou back on the road safely.
Something thatsetsCSN Norgate apart is its ability to dealwith glass claims independently.
“If it’s awindshield,wecan handle it all here,” Yeomans explains.
“We have glass-certified technicians that not alot of shops offer. We can handle glass claims all in house. We can start and finish here withouthaving to get in touch with insurance on your own.”
Under its new ownership, CSN Norgate will also continue with its local fundraising endeavours, raising money for Kiwanis International, the Ronald McDonald House andmore
“We’ve been here since1960, and we’ve always contributed to the communitybecause the community is whatholds us together,” Yeomans comments.
For moreinformation, visit liftautogroup.com.






















The three Scotiabank branches in Prince George donated $10,614 to the United Way of Northern B.C. Nicole Carswell, left, from the Prince George Main Scotiabank, presented the donation to Lorna Bihari, United Way of Northern BC, second from left, with Wendy Fiala, Spruceland Scotiabank, second from right, and Thomas Sandvoss, College Heights Scotiabank, right.
HANNA PETERSEN Citizen staff
A B.C. Supreme Court Justice has dismissed the City of Prince George’s application to close down Moccasin Flats.
In a 27-page decision, Judge Simon Coval denied the city’s injunction to remove the last residents of the encampment near downtown Prince George.
By demolishing much of the encampment on Nov. 17, 2021, Coval stated the city was in breach of Justice Christopher Hinkson’s October 2021 ruling, which allowed the Lower Patricia encampment to remain open until suitable housing and daytime facilities were available.
The city argued that it had satisfied conditions of Hinkson’s ruling by providing suitable housing and daytime facilities with the opening of the Knights Inn, leased for this purpose by BC Housing, but Coval rejected the city’s position.
“I find that, before dismantling and demolishing much of the encampment on November 17, 2021, the city failed in the admittedly difficult task of identifying, as much as reasonably possible, how many people were regularly occupying the camp and how their shelters and belongings should be managed.”
Coval also accepted evidence from Bell Johnny, a named respondent who lives in Moccasin Flats, that in December 2021 about eight people continued to reside at Lower Patricia, but that many other people had left only because their shelters had been dispersed without housing.
The city had said that in December 2021 only two occupants remained at Lower Patricia because they refused alternative housing.
“I find that numerous people residing
at Lower Patricia in mid-November 2021 left the camp only because their shelters and belongings were dismantled and destroyed in their absence and they were not offered housing,” Coval said.
Coval said the availability of the units at the Knights Inn are insufficient to house the occupants of Lower Patricia as the city acknowledged that in late December there were no available units though five more would eventually become available after extensive renovations.
“This is insufficient to house the current occupants of Lower Patricia and the former occupants dispersed without housing.”
Coval also accepted the evidence from unhoused residents regarding the shortage of low-barrier shelter space in the city and the difficulty of accessing daytime facilities.
“Particularly in a northern city during winter, is exceedingly difficult given the complex personal circumstances and challenges of the homeless. The difficulties are exacerbated by the COVID-19 pandemic.”
Furthermore, Coval rejected the city’s position that only the number of “current” occupants of Lower Patricia should be considered, not those who were dispersed following the November dismantling.
Coval said it was “unreasonable” to ignore those who were evicted, in breach of the order, without their belongings or any offer of housing.
“I find that some of the Lower Patricia occupants helped to relocate to the Knights Inn lost their personal belongings in the dismantling without reasonable opportunity to collect all that was essential and important to them.”
MARK NIELSEN Local Journalism Initiative Reporter
The process of redrawing B.C.’s electoral map has begun and Nechako Lakes MLA John Rustad fears Northern B.C.’s representation in the provincial legislature will take a major hit by the time the new boundaries have been determined.
Legislation governing the three-member Electoral Boundaries Commission requires that it largely adhere to meeting an “electoral quotient” that sees the population of most ridings veer no more than 25 per cent away from the average.
A provision gives the EBC leeway to account for “special geographic considerations” related to keeping electoral areas to a manageable size as well as for “special demographic considerations, including communities of interest.”
While that may seem reasonable, it amounts to a what appears to be small but, in Rustad’s view, potentially significant change to the legislation invoked by the governing New Democrats last spring.
to the 87 currently in the legislature, but given how much B.C.’s population has grown, Rustad said that will make for only a marginal decline in the average per riding.
As it stands, Nechako Lakes covers nearly 74,000 square kilometres, more than twice the area of Vancouver Island, and is home to about 32,000 people, well below the average of 60,000 per riding. It’s also home to six municipalities and 13 First Nations.
Videoconferencing in the form of Zoom and Microsoft Teams may help but still falls short in Rustad’s opinion.
“Nothing quite replaces person-to-person,” he said. “You’re face-to-face, you’re talking through an issue,” he said and noted many communities are still on dial up.
Nothing quite replaces face-toface... you’re talking through an issue”
While most communities and settlements are located along Highway 16, Rustad noted it’s still a 280-kilometre drive from one end to the other and said 15-20 per cent of the riding’s voters live south of Francois Lake.
Up to that point, the EBC was also required to refrain from decreasing the number of electoral districts in each of the Cariboo-Thompson, Columbia-Kootenay and North regions, home to 17 ridings in all.
With the change, Rustad predicted the EBC will consider special circumstances for “at most just one or two ridings.”
He outlined a scenario that would see the number of electoral areas in the North reduced from 10 to six by combining Peace River South and Peace River North into one riding, North Coast and Skeena into another, Stikine and Nechako Lakes into another and by folding Cariboo North into the two Prince George ridings. The EBC can add up to six more ridings
The Electoral Boundaries Commission began welcoming public comments electronically and via mail this week, with public meetings outside the Lower Mainland to be announced.
Rustad said the best hope for preventing what he worries could occur is for people to make their voices heard.
“I think that’s the only option we have, is to explain to the Electoral Boundary Commission why there are special circumstances that need to be looked at for the rural ridings, a need for effective representation and appeal to them to use that consideration when they are deciding on the electoral boundaries,” Rustad said.
For information on making submissions, go to bcebc.ca/your-voice/
Canfor Corp. has announced it is selling its Mackenzie site, plant and equipment to Peak Renewables for a combined price of $70 million.
In addition, Canfor has entered into a Letter of Intent to sell its forest tenure in the Mackenzie region to the McLeod Lake Indian Band and Tsay Keh Dene Nation. Canfor and the two First Nations intend to work towards a definitive agreement for the forest tenure sale and seek provincial approval for the transfer.
“This purchase represents an important opportunity for us to continue our work towards economic stability and prosperity for our members, communities and
business partners,” McLeod Lake Indian Band Chief Harley Chingee said.
The plan would see Canfor’s forest tenure subdivided between the two Indigenous groups, Tsay Keh Dene Chief Johnny Pierre said in a statement.
“First Nations in B.C. have been relegated to marginal roles in the forest sector for far too long,” he said. “The Letter of Intent... has the potential to dramatically change this imbalance within the Mackenzie Timber Supply Area.”
Canfor announced an “indefinite curtailment” of operations at its Mackenzie mill in 2019, resulting in the loss of 250 jobs in the town north of Prince George.

HANNA PETERSEN Citizen staff
For the past six years, one of the most beloved staff members at Heritage Elementary School has been walking the halls on four legs.
His name is Oliver and he’s not only an adorable mini-goldendoodle, but he was the first certified therapy dog to work in School District No. 57 (SD57) and has spent most of his career at Heritage.
His owner is principal Linda Picton and she’s been bringing him to school with her since he was a brand-new puppy.
After losing her two elderly dogs and then seeing her mother interact with a therapy dog while in hospice, she said she was inspired to get a therapy dog.
“My kids wanted me to get another dog and we suddenly got fixated on maybe we could get a dog in and make him a therapy dog.”
Picton then got Oliver as a puppy in the summer of 2015 and immediately began exposing him to as many experiences as possible so he would be ready for the hectic pace of a school setting that fall.
Oliver also graduated with all four levels of the therapy dog certification through Caring K9.
She said Oliver likes to sit with the kids when they read and loves visiting students during lunchtime in case anyone drops anything.
“We had a few kids that had a really difficult time when their parents were dropping them off and part of their plan would be, that the kids would come and visit Oliver before going to their class and that was well received and made a difference,” said Picton.
She said Oliver has also helped kids who struggle on the playground. When they need a break from their peers they can spend some time with Oliver instead and he has even helped some students overcome their fear of dogs.
“I think for people who love dogs it has a calming effect and it’s relaxing, being able to pet a dog. I know for me when I’m feeling sad, or stressed, or tired I really love snuggling with him.”
When Picton’s friend and Harwin Elementary school principal, Linda McGraw, first met Oliver she also became interested in getting a therapy dog that she could bring to school.
“I’ve always known the effect animals had with children, how they were always pacifying and calming, so when she got Oliver and she started the training I

Fast-acting relief for nervousness and acute stress, Natural Factors Stress-Relax 100% Natural GABA is asuperior source

Stress-Relax Mind Retreat contains gammaaminobutyric acid (GABA), lemon balm, magnesium,
andvitamin B6, key nutrients that help cope with occasional stress. Mind Retreat promotes relaxation, reduces restlessness, and can be used as asleep aid for periodic insomnia. and naturally produced form of the important brain compound gamma-aminobutyric acid (GABA)

Help relieve symptoms of stress and anxiety, such as mental fatigue, sensation of weakness, sleeplessness, irritability,and inability to concentrate.



thought I can do this too.”
She eventually brought home Clementine, a sheepadoodle, who has been working at Harwin for the past three years.
“She has been in this building since she was a pup,” said McGraw. “She is part of the establishment now.”
Clementine has also graduated with all four levels of the therapy dog certification through Caring K9.
“There’s kids that come and get her to walk with them just for their regulation – if they need an out from the classroom they can just walk up and down the hallways with her,” said McGraw.
“There’s kids that will come and curl up
in the hallways with her right on the floor to help them self-regulate.”
McGraw said it’s not only the students who find Clementine calming but it’s the staff too.
“One day I came in and there was a staff member on the floor with the dog who needed a break. It is beneficial to everybody; it has that calming effect.”
McGraw said one of the things she loves most about having Clementine at the school is witnessing the effect she has on the students.
“Just to walk in and see kids that are curled up with – it just does your heart good,” said McGraw.
MARK NIELSEN Local Journalism Initiative Reporter
A victim of a woman who was sentenced to two years in jail for threatening people with what turned out to be a intimation handgun says she feared for her life.
Not only was Maureen Isaac-Johnson waving the gun in the air and pointing it at passing traffic before she was apprehended on June 2, 2021 near the corner of 20th Avenue and Victoria Street but had held it to the victim’s head.
Believing Isaac-Johnson was wielding a real gun, the victim said she initially thought an employee at the McDonald’s restaurant had “saved my life” when he wrestled what turned out to be a pellet gun away from her.
“I thought I was dead, I thought I was as good as dead.”
In what had originally been scheduled as an arraignment hearing, Isaac-Johnson was sentenced in Prince George Provincial Court to the jail terms on counts of robbery and using an imitation firearm to commit an offence.
The victim expressed disappointment that she was not able to provide an impact statement prior to sentencing.
Isaac-Johnson was also issued a lifetime firearms prohibition and ordered to provide a DNA sample and sentenced to time served for assault and assaulting a peace officer.
Making matters worse, the victim said police later contacted her to say Isaac-Johnson had abandoned a treatment centre she had gone to while awaiting sentencing and advised her to “lock your doors, know your surroundings, she’s free.”


Isaac-Johnson’s rampage didn’t stop there, according to the victim, whose name has been withheld by The Citizen.
“After the McDonald’s employee got the gun out of her hand, she turned around and started smashing my face and ripping my hair out,” the victim said and added she saw Isaac-Johnson attack one other woman in front of her children.
Isaac-Johnson spent a total of 133 days in custody prior to sentencing.
According to court records, she was released from custody 49 days after her arrest and was back in custody by Nov. 1.
“My life has changed forever, it will never be the same,” the victim said. “I can’t drive downtown without saying to my family ‘roll up your windows,’ ‘lock your doors.’”
Half of Indigenous students aren’t finishing high school on time, school district report finds
ARTHUR WILLIAMS Citizen staff
Nearly half of local Indigenous students aren’t completing high school in the normal five years, according to a report by School District 57 superintendent Cindy Heitman.
Only 51 per cent of Indigenous students who started Grade 8 in the 2013/14 school year graduated in the 2017/18 school year, Heitman said during a report to the district board of education. By the 2020/21 school year, only 67 per cent of those students had graduated.
Indigenous students who started Grade 8 in the 2014/15, 2015/16 and 2016/17 had similar five-year completion rates, ranging from 53 per cent to 55 per cent, she said.
Based on survey information, students who feel connected and welcome at school stay and graduate, Heitman said.
“We lose kids early on in high schools,” Heitman said. “Our kids don’t feel like they belong, they don’t feel like they’re connected. We know that we retain those kids to Grade 11 and then… where we see the drop is (Grade) 11 to 12.”
One of the things Heitman said the district intends to do is look at how the elementary school experience is preparing Indigenous students for high school.
“One out of two is a staggering number,” trustee Tim Bennett said.
He asked the district administration to look at how different high schools throughout the district prepare Grade 8 students, to look for best practices.
Board chairperson Sharel Warrington said the problems are systemic across B.C. and Canada, “it’s not just Prince George.”
“There are more questions than answers, when we look at the data,”
she said. “When we look at the survey results… a large percentage of students are saying that they are not getting what they need to be prepared for the future.”
In some cases half or even 60 to 70 per cent of students are staying they are not getting what they need in school to be ready for the future, she said.
Trustee Rachael Weber said she’s disappointed that Indigenous students are still being required to self-identify every year. In some cases, students who have self-identified in one year have not in following years, Heitman told the board.
“Why are we living in a colonial system where we are asking them to identify who they are every year?” she said. “McLeod Lake Indian Band raised this issue two years ago, and it is still going on.”
Trustee Milton Mahoney said that students dropping out in Grade 11 may not just be about what is happening in school, but what is happening in that student’s life outside of school.
“Are people dropping out to work, to help support the family? It’s not just a case of people coming to Grade 12 and saying, ‘Nah, that’s it,’” Mahoney said.
On Feb. 15, members of the board of education and senior administration met with the Indigenous Education Leadership Table, formed by a partnership between the Lheidli T’enneh First Nation and McLeod Lake Indian Band.
Warrington said the biggest take-away from the meeting was the desire to get to work to improve outcome for indigenous students.
“We were able to acknowledge the voice of McLeod Lake Indian Band and Lheidli T’enneh,” Warrington said. “We all came away with open hearts and open minds, and that we are working toward that better path.”
The trustees of the School District 57 board of education voted unanimously to not give themselves a raise this July.
The district’s policy regarding trustee remuneration recommends that each July 1, the remuneration for the board should be increased at the same rate as the B.C. School Employers’ Association contract for the district’s union-exempt staff. District secretary treasure Darleen Patterson said that rate is currently unknown, because wage negotiations are underway.
“It has been the practice of the board not to look at remuneration during bargaining,” trustee Tim Bennett said. “(And) we do have an ad hoc committee in place that is going to look at remuneration after the election.”
Bennett, who chairs the district’s management and finance committee, recommended the board defeat the proposed increase. Earlier this year, the board struck a committee to evaluate the district’s remuneration policy and make recommendations intended to be put into effect after the local government election on Oct. 15. Under the current policy, the chair of the board is paid $23, 115 per year, the vice-chair $1,500 less than the chair and regular trustees $3,000 less than the chairperson.
Board chair Sharel Warrington and trustee Milton Mahoney both spoke against trustees giving themselves a raise.
“We set a precedent if we choose to vote a raise for ourselves,” she said.





ack in July of 2020, The Exploration Place partnered with researchers from Simon Fraser University and contributed to the British Columbia Megafauna Project. The project studies large ice age animals in B.C. by documenting items from both private and public collections with the aim to find and document as many of them as possible. In doing so, they will discover more about when they lived, information on their health and age, and information on their diet and how and where they moved across ice age British Columbia.
Large ice age animals, such as mammoths, mastodons, bison, and elk that roamed North America near the end of the ice age are referred to as megafauna. Why these large animals went extinct has been widely debated, but projects like these are beginning to give us a clearer answer.
The answer is complex: changing climate and human hunting have both played a role in the extinction of these megafauna at various times and in different places depending on the animal.
SFU researcher Laura Termes, an archaeology Ph.D. student, visited The Exploration Place and took a small sample from a mammoth tusk in The Exploration Place’s collection.
Mammoths, like ours, lived in B.C. during the Pleistocene epoch and are one of the best species indicators for this work because of the astronomical amount of food and water they required to survive each day. Indicator species are those that serve as a good measure of the environmental conditions in a particular location and can therefore tell us a lot about that environment.
Donated initially in 2014 by George Collins, the tusk was collected during the construction of the Giscome Highway at the Bonnet Pit (Bonnet Hill) on May 18, 1946.

A sample of mammoth tusk from the Exploration Place collection, above, and a mammoth collagen sample being tested at the lab at Simon Fraser University, right.
When Collins originally collected it, he was hand-shoveling at the site approximately 50 feet below the surface.
He believed he was picking up a piece of fossilized wood and found another two pieces while working.
He knew it was something special and wanted to share it with the community, so he donated a piece to the university and The Exploration Place.
Staff scientists were not convinced that it was wood and thought it might be something more.
When interdisciplinary earth scientist Michael Wilson visited in 2015, he confirmed that it was not petrified wood but mammoth tusk.
After doing a bit more research, our curatorial team quickly learned that seven years later, in the same gravel pit as the one Mr. Collins was working in, a four-foot tusk was plucked from the conveyor belt on its way to the rock crusher. It weighed approximately twenty-five pounds and was found only ten feet below the surface.
Unfortunately, though much more of the mammoth’s remains were reported to be present (including whole large bones with points of articulation), any

other remains went through the rock crusher and are now part of the roads and highways in the area. At the time, it was believed that they had discovered the first mammoth in British Columbia. No one knew that Collins had, in fact, found one seven years prior in the same location.
It is not unusual to find sites containing multiple skeletons. This might be because these locations were natural traps in which individuals accumulated over time.
When our team heard about the British Columbia Megafauna Project, we jumped at the opportunity to learn more about our locally found mammoth, perhaps the first one found in B.C.
So far, this is what we know: our mammoth was found in the Bonnet Pit, in the same gravel left behind by a glacier thousands of years ago.
Radiocarbon dating tells us that it lived and died approximately 33,000 years ago!
Two species of mammoths have been reported in B.C., the Columbian mammoth (Mammuthus columbii) and the famous Wooly mammoth (Mammuthus primigenius).
Our tusk likely belonged to a woolly mammoth rather than a Columbian
mammoth; however, mammoth size and type are not well known for our area of the province, and it is difficult to prove without the dental metrics.
Two other mammoths, found locally in the Fraser River, were also tested from private collections.
Even more intriguing is that these were dated approximately 35,000 years ago and 37,500 years ago. This means that mammoths roamed the area for at least 4,500 years.
We are excited to continue to learn more about our mammoth and are anxiously awaiting the results of the radioisotope analysis. This will allow us to track its movement on the landscape, give us insight on diet and help paint a picture of what the environment in and around Prince George looked like 33,000 years ago.
By continuing to do this sort of scientific research on our collection, we hope to strengthen the academic work being done in this part of the province and help tell a more complete and more comprehensive picture of what Prince George looked like through the vastness of time.
Alyssa Leier is the curator at The Exploration Place.








TED CLARKE Citizen staff
The Duchess Park Condors caught a thermal draft early on and by the time they landed, they could see their next challenge ahead at the B.C. triple-A boys basketball tournament in Langley.
Their 109-47 win over the College Heights Cougars in Saturday’s North Central zone championship in Quesnel was never in doubt. Duchess Park used its fast-break offence and riveting defence to build a 25-15 after one quarter and were in control 43-26 at the half.
“I think everyone knew we were the favourites going in and we were just challenging ourselves for how good we could push ourselves to be,” said Condors head coach Jordan Yu. “We wanted to get everyone in and we know it’s important to build leads to do that and guys came out firing on all cylinders.”
Tournament MVP Cole Laing shot 26 points in the final, one point fewer than Condors post Evgeny Baukin. Both were exceptional in all three games the Condors played and Yu was told by tournament organizers they had a difficult time choosing their MVP.
“Cole was so steady and consistent and made all his takes to the hoop, tough finishes, and he was just dynamite, hitting his threes and setting up teammates, grabbing rebounds and pushing the tempo,” said Yu. “I can’t say enough about how good he was.
“Evgeny was also stellar. He was outright amazing, as usual. When you have a six-foot-six guy who knows how to play defence against a post or a guard, he was doing it all. We put him on some of the strongest scorers and he shut them down. With his length and his talent, he’s able to change so many shots, whether It’s inside or outside.”
Aidan Lewis contributed 21 points to the Condor cause and Adam Sieben shot 12.
For College Heights, Bobby Lewis hit for 22 points and Guarav Bains, the tournament’s top defensive player, collected 12. Lewis, Baukin and Kelly and Deven Naumann of Lake City were picked for the first all-star team.
Ranked third in the province for the 16-team provincial championship in Langley, March 9-12, the Condors are defending silver medalists from 2020.
The players still left from that near-championship team know they’re going to have to raise their level of intensity to an even higher level to come back from tournament satisfied.
Yu says he likes his team’s No.3 ranking just to avoid having the target on their backs like they did two years ago when they were ranked first going in.
“No one’s really seen each other this year,” said Yu. “We had that early December tournament when we didn’t have Chris Zimmerman (who was still playing volleyball with Duchess Park), so we were missing a big part of our starting lineup and we were competing with some of the top-10 quadruple-A teams down there.
“Everyone was playing their own games and that would have been the only chance those teams got to see us and then we didn’t travel again until we went to Kelowna to play Kelowna Secondary the first weekend of February.
“We knew what we needed to work on after playing a big school like that, and we’ve just been putting in work and our scores this weekend were unbelievable. We won every game this weekend by at least 60 points. There are only so many possessions in a game, so when a high school team scores consistently 100 points in a game, they’re doing something right.”
Prince George Spruce Kings forward Rowan Miller is heading north to Alaska.
The 20-year-old Scottsdale, Ariz., native has signed a scholarship agreement to play next season with the University of Alaska-Anchorage Sea Wolves.
“I’m extremely excited to receive a scholarship from the University of Alaska-Anchorage,” said Miller, in a team release.” I’ve dreamt of playing Division 1 hockey for most of my life. I’ve had tons of help over the past two years from my teammates and coaches with the Spruce Kings. Coach Al (Evin) and Lukáš (Lomicky) have been very supportive of me and have helped me improve tremendously as a player and a human.”
Miller has impressed college scouts

Lifted restrictions allowfor full capacity at this year’s annual Winter Festival
“Weare excitedbecause COVID-19 restrictions have loosened up,and we’reexpecting about 1,000 people,” says SarahMaurice,executive director of LesCercledes CanadiensFrançais de Prince George (CCFPG), or the French-Canadian AssociationofPrince George
Forits 37thyearand theCCFPG association’s 62ndyear, theFrancoFUN eight-day festival starts March4and will rununtil March12. That’s plenty of time andreasontocelebrate forPrince George’s francophonecommunity!
Many don’trealize thesignificant French-speaking population living within thecommunity,not just people relocatedfrom Québec,but from around theworld
LesCercledes CanadiensFrançaisde Prince George is anon-profitassociation dedicated to promoting French cultureand language,withthe FrancoFUN Winter Festival starting in 1982. By 2007, Heritage Canada officiallyrecognizedthe festival,followedshortly after by theCityofPrinceGeorge in 2009.
plus traditional dancefrom Burundi, Africa.”
If thelatterseems like an odd fit, be remindedthatthe “Frenchlanguage is spoken all around theworld,and we hope to highlight that theFrancophone community welcomeseveryone,”she says.
Artand entertainmentwill takeplace March9atthe CourtyardMarriott Hotel, with thepopularannualsenior’s luncheon returningfor folksaged50+.
Outdooractivities, such as curlingand snowshoeing, will replace movienight this year,explainsSarah,“people are tiredofbeinginside,and want to get together andmoveinstead of sitting.”
On March12, theSugarShack is hostingtheir traditional French-Canadian brunch,withamusical performance by Pierre Schryer. Brunch to go is also availablefor anyone more comfortable with that
with his ability to generate offence. In 44 games this season he had 20 goals and 18 assists for 38 points.
This is his second season in Prince George, joining the Kings in a trade with Powell River, where he played his first two B.C. Hockey League seasons. In 163 BCHL games he has 40 goals and 40 assists. Last season, in a pandemic-shortened season in the 2021 Chilliwack Pod, Miiller scored five goals and had nine assists in 14 games.
The Spruce Kings play in Penticton on Friday and West Kelowna on Saturday before returning home to wrap up the regular season with games at Rolling Mix Concrete Arena against Vernon (March 11), West Kelowna (March 12) and Salmon Arm (March 18 and 19).
AccordingtoSarah,thisyear’sschedule is nottobemissed. It includes “two shows in thePrinceGeorge Playhouse, with about threehundred people attendingper show,”includinglive theatre with volunteer actors whoseplay will tell thehistory of the“founders who first settledinPrinceGeorge,their struggles speakingonlyFrench, and creating their owncommunity.”
FrancoFUN kicksoff Friday,March 4, with an eveningofskating
On March7,Sarah explains, “singer LéaJarry from Quebec will perform,
At theend of theevent,there will be adrawfor twobig prizes, onebeing anight at theSandman Hotelwitha certificate to therestaurant,and the otheranight at theCourtyard Marriott Hotel.
Expect mapletaffyinthe snow,“which Icrave,” laughs Sarah, andtraditional dishesmade by volunteersliketourtière“with their secret family recipes passed down foryears andyears.”
To learnhow to join in on theFrancoFUN, call 250-562-2565 or visitthe Le Cercle des CanadiensFrançaisde Prince George Facebookpage, where dailyeventsand information arelisted in French andEnglish
TED CLARKE Citizen staff
Vova Pluzhnikov and Tyrell Laing were the dynamic duo every men’s basketball team wished they had.
They played their last home game for the UNBC Timberwolves Saturday at the Northern Sport Centre, a game UNBC lost 89-69 to the Victoria Vikes, who used that victory to clinch first place in the West Division.
For five seasons over a six-year span, Laing and Pluzhnikov have worked in choreographed tandem, learning in practice how to feed off each other’s strengths to get the best out of each other in game situations with Pluzhnikov most often as the setup guy feeding Laing in open territory to create high-percentage looks at the net.
Now, with the Canada West playoffs about to begin this week, their time as brothers on the court is rapidly coming to an end.
“It’s super bittersweet for me,” said Laing. “I’m thankful for the opportunity to come to this program to leave my mark here and to fulfill a childhood dream of coming to play for the local UNBC Timberwolves and then ultimately setting some records I never would have thought, it’s special.
“Vova made my life so much easier

than it would have been, freeing the floor up for me, finding me (with the ball), calling plays for me and ultimately playing an integral role for making me the all-time scorer here at UNBC.”
T-wolves head coach Todd Jordan took a chance on Pluzhnikov when he signed him without having seen him play in Canada and it worked out splendidly well.
The native of Kharkiv, Ukraine, was a workhorse throughout his career.
His leadership abilities kept team morale stoked and he brought out the best in his teammates, setting an example
off the court as well with his willingness to take part in community events.
“It’s been a pleasure to coach him, he’s just a salt-of-the-earth guy and you’re always proud when at the end of a career you’ve got great people leaving the program,” said Jordan. “He’s our all-time Canada West leader in assists and he set a bar for our program.”
“I give all the credit to all the teammates I’ve had here and especially Ty, most of my assists went to him,” Pluzhnikov said. “No one could have written that better, that I got to share the backcourt with Ty.






This is my home now and hopefully I’ll keep leaving my fingerprint all over this community. I hope I can help a lot of basketball players in this program and give back to this community.”
While Pluzhnikov was a bit of mystery when he arrived, Jordan knew exactly what he was getting when he plucked Laing out of the city high school ranks after years of watching him develop with the PGSS Polars.
Laing took a couple seasons to get comfortable playing university-level basketball but his raw talent and willingness to put in the time to build his game turned him into a scoring sensation.
“For him to (win the scoring title) was incredible,” said Jordan. “If you had looked at the numbers at the end of Year 3, it didn’t look that likely he would get to that point. He’d been [laying behind a couple of guys (on the depth chart) the first couple years and was in and out as far as playing major minutes, but the last couple years after Jovan Leamy and James Agyeman graduated he took the bull by the horns and has become a great scorer for us.
“It’s just awesome to see a Prince George guy do that. To think a guy from this town would leads Canada West in scoring for a year, it’s incredible. It’s an unbelievable accomplishment and he has a lot to be proud of.”
TED CLARKE Citizen staff
The news out of Ukraine was grim for Vova Pluzhnikov when the 26-year-old UNBC commerce student woke up to start his day Monday.
The Russian invasion of Ukraine that started Thursday continues to threaten Pluzhnikov’s homeland and his parents, brother, cousins and friends are getting caught in the crossfire. They live in Kharkiv, and on Monday that city suffered rocket attacks from Russian forces that left dozens of people dead and hundreds injured in the second-largest city in Ukraine, with a population of 1.44 million.
“It was definitely the toughest day for Kharkiv today,” said Pluzhnikov. “Lots of shelling and unfortunately many casualties among civilians. Many of my friends from Kharkiv are very afraid right now. This irrational and unwarranted targeting of civilian structures and buildings by the Russian aggressors cannot be forgiven.”
Pluzhnikov talked to his parents after Saturday’s game in Prince George.
“It’s just hard, every time I think about it,” said Pluzhnikov, while fighting back tears. ”They told me they were able to watch the game, but it’s not quiet over
there. It’s very hot, and they’re just trying to stay low and stay safe, going back and forth between their apartment and a shelter nearby, so I try to stay in touch with them and my brother.”
Pluzhnikov’s cousin works as a baker and his bakery is helping to feed people displaced from their homes.
“He took his whole family down to his workplace and everyone is chipping in, everyone is trying to provide and they’re trying to supply the local military with everything they can make on the spot,” he said. “My brother and his wife try to provide IT support when it’s safe to be at the apartment, while my mom, cousin and his family make soup and make bread for volunteers and others in need. I couldn’t be more proud of my family and their contributions, especially right now, and the only message I have is just keep staying strong. We’ll go through this and we’ll definitely win.”
Pluzhnikov says his family would consider leaving the country, but not now.
“It’s really early to say right now, it’s really dangerous to do it,” said Pluzhnikov. “I’ve had many talks with my parents about it and right now is not the time. I think we just have to wait it out a little bit and see if it gets better.”

TED CLARKE Citizen staff
The Cedars Christian Eagles had a great team last season but never had the chance to prove it on the high school boys basketball court.
The pandemic ruined their season and the Eagles were left wondering if they were worthy of their ranking as the fourth-best single-A team in B.C.
The Eagles retained their No. 4 status this season – the highest in Cedars school history – and they came into the 11-team North Central zone tournament as the team everybody wanted to beat.
As it turned out, nobody could. The Eagles ruled the roost in all four games it took them to get their hands on the zone trophy and they took advantage of the dog-tired Fort St. James Falcons in Saturday’s final, winning 86-37.
Tony Kibonge led the all shooters in the final with 22 points, backed by a 14-point game from Mitch Crosina and a 10-point effort from Seth Hulka. Caiden Olund, with 10 points, was the only Falcon to reach double figures.
“This feels pretty good,” said Kibonge. “It’s my last year at provs and even if we don’t do good, we’ve got some kind of win. I’m happy with how we’ve done and how we’re doing right now and hopefully we can carry that on to provs and get a win, because we have a pretty high ranking and I think we have a pretty good shot at it.”
Jake Doerksen is part of a core of Eagles that also includes Kibonge, Mitch Crosina, Jacob Oliver and Zach Wagner that first started playing together in Grade 8. Most of this year’s basketball team also won the zone volleyball championship a few months ago, which will make this school year even more memorable.
Cedars will claim the top seed for North Central in the 16-team single-A provincial tournament in Langley, March 9-12, but with three provincial berths, they won’t be the only team from North Central traveling south. Fort St. James and Northside Christian of Vanderhoof are also in the final-16 mix.
CLARKE Citizen staff
The D.P. Todd Trojans knew their odds of beating the Nechako Valley Vikes in Saturday’s North Central zone final were on a lottery-win scale - highly unlikely.
They’d seen the Vikes flex their muscles a day earlier when they played them in the preliminary round at the four-team double-A boys basketball tournament at Shas Ti Kelly Road gym and lost by 29 points. Loaded with senior team veterans Jeremy Pagdin, Tanton Mueller, Brendon McGee, Tim Teichroeb and Tristin Ellis, the Vikes were unrelenting in their pursuit of the zone title and they defeated the Trojans 77-39 to claim the lone berth in the 16-team provincial tournament in Langley, March 9-12.
For the Trojans, just getting to the final was a big deal.
D.P. Todd struggled throughout a COVID-interrupted season to find enough players to bring a team to the court. None of the nine players who played in the

weekend zone tournament were with the senior team that won the North Central crown in 2020, the last year it had been contested, and Trojans head coach Harsh Bhanga admits he had some doubts the team would survive.
But it did, and the Trojans thrived when it counted most.
But it took a buzzer-beating play to
ensure they made it as far as the final.
“We started the season under-manned and it was a tough season for us, just having low bodies and not being able to get into the gym to practice much, but we were able to get some kids involved who were not originally involved just so we could continue the season,” said Bhanga.
“It was kind of a Cinderella story for us
to beat Shas Ti Kelly Road and go to the final against a very talented, well-coached Vanderhoof team. They tried to set up a match with us all year but we were never actually able to play them just because of the issues we were having with getting bodies.”
Facing the host Shas Ti Kelly Road Grizzlies for the second time in a playoff game Saturday morning to determine who qualified for the final, Trojans guard Makin McLeod made a last-second layup to beat the Grizzlies 62-61. The winning play was made possible by McLeod’s twin brother Kalen, who stole the ball from the Grizzlies with five seconds left and got the ball up to Raj Bhanga, who spotted Makin on the run.
“That was a crazy game and we were able to win as the buzzer sounded,” said coach Bhanga. “We didn’t go into the final expecting we could beat Vanderhoof, but for us to get that second-place trophy and bring it back to our school is such a big deal for us. We went from almost folding halfway through the season to bringing home second place.”

The Northern Capitals were ready to play some hockey.
After a 19-day break in their schedule, the Capitals took on the Greater Vancouver Comets in a three-game series at the Kin Centre and came away with a sweep. The Caps defeated the Comets 6-1 on Friday, 6-0 on Saturday and 5-4 on Sunday.
In the U18 female division of the BC Elite Hockey League, the Capitals pushed their second-place record to 21-6-0-3. The Comets, in last place in the five-team group, fell to 4-27-1-0.
The Caps have two games left in their regular season, this coming weekend in Vernon against the fourth-place Thompson-Okanagan Lakers (11-17-0-2).
Regardless of the results, the Capitals will finish second to the Fraser Valley Rush, who currently boast a record of 27-2-1-0.


The Cariboo Cougars, above, settled for a weekend split with the North Island Silvertips.
In the U18 division of the BC Elite Hockey League, the Cougars defeated the Silvertips 6-2 on Saturday but lost 5-3 on Sunday. Both games were played at Kin 1.
The Cougars outshot the Silvertips 36-28.
The Cougars will wrap up their regular season this coming weekend in Abbotsford with a doubleheader against the second-place Vancouver Northwest Hawks (24-8-1-1).
Meanwhile, the U15 Cariboo Cougars, left, pulled off a thrilling upset against the Thompson Blazers on Sunday at Kin 1.
In the BC Elite Hockey League contest, Jack Tidsbury gave the Cats a dramatic 5-4 overtime victory when he scored halfway through the
five-minute extra session.
In the 10-team division, the Cougars (6-20-0-2) are in ninth place and the Blazers (20-7-0-1) are in third.
In the game, Mettao Sardinha forced overtime when he scored midway through the third period. The Cats got their other goals from Grady Gustafson, Josh Gendron, Brett Peebles and Jaxon Larmand, the latter three all on the power play. Tristen Bailey, Hunter Aura (power play) and Teghan Mullin (shorthanded) had the other goals for the Blazers.
The Cougars will finish their regular season at home this coming weekend when they face the fourth-place Okanagan Rockets (17-9-0-0).
Games are Saturday at 5 p.m. and Sunday at 8:15 a.m. at Kin 1.











As of February17, 2022 BC has lifted many of the COVID-19 restrictions that were in place. Other key protective measures, including the BC Vaccine Card, mask requirements and COVID-19 Safety Plans will all remain in place. Let’scontinue to get boosted, get our kids vaccinated, and help protect those we love.


· Indoorpersonal gatherings returnto normal
· Indoor andoutdoororganized gatherings can returntofull capacity
Dancing allowed.
· No restrictions on sports tournaments
· Fitness centres, adult sports, dance, swimming can returntofull capacity Masks and BC Vaccine Card required.
· Restaurants, barsand nightclubs can returntofull capacity.Notable limits. Mingling and dancing allowed. Masks and BC Vaccine Card required.
· All indoor seated events can returnto full capacity.Masks and BC Vaccine Card required
Full details here: www2.gov. bc.ca/gov/content/covid-19/info/ restrictions
Tested negative for COVID-19 but still feeling sick? Stayhome! Whether you have cold, flu, or COVID-like symptoms, it’simportant to stayhome if you’re not feeling well to stop the spread of germs to others.
If your symptoms get worse, contact your health care provider or call 8-1-1.

Has it been 6months since your second COVID-19 vaccine? Don’t forget to book your booster dose! Booster appointments are available in Prince George.Followthe instructions from your invitation and pleasebook now
Even if you’ve already had COVID-19 and recovered, you should still get your booster dose. Why? Studies show the strength and length of protection from having COVID-19 varies greatly and will leave many
people vulnerable to getting COVID-19 again.
If you were recently infected, you can get your boosteronce your symptoms have passed. Appointments are available in your community.
Learnmore about boostersand book yourstoday!www2.gov.bc.ca/gov/ content/covid-19/vaccine/booster








ACROSS
Ship defector
Herring’s kin
22. Hula-Hoop’s site 23. Release
Dwelling
Like ajug, e.g.
Wall hanging
Is situated
Botches
Relies 37. Rubbed out



39. Naughty child
Andean animal 43. Serpents 44. Gather 45. Sugar source
Sitting above
Long fish 52. Flirt with
Have title to
Carney et al.
Tiny pests
Savior
Gravy
Portrayal
Brush part
Balloon input
Navigated
More mature
Fend off
Licks
Oceans
Orderly
“Tea for
Plate of glass
Line of seats
Orchestra 33. Brick house
Scrap of cloth
Iron or Stone
Put up with
Kind of carpet
Takes on
Bother
Gaps
Blink of one eye
Add ashare
Robin’s roost
Pug or collie
Fill in the grid so that every row, every column and every3x3 box contains the numbers 1through 9only once.
Each 3x3 box is outlined with adarkerline. You alreadyhave afew numbers to get you started. Remember: you mustnot repeatthe numbers 1through 9inthe same line, column or 3x3 box.





In Memory Of BOYD BAYNE
Miss these Days, Think of You Daily. Love Allan

BAZINET, HEATHER
2x85.0
R0011899426



Another year gone in a blink of an eye, it’s your special day and we’re celebrating it in every way. Your balloons are blown up, tied neatly with a bow, their colours are bright as we watch them float out of site
Happy birthday is sung for you to hear, we close our eyes and imagine you are near
We gather our thoughts, wishes and prayers; as your candles glow bright on your favourite cake tonight.
Bryson, please know these words to be true; as we all must pass through this world, one day life‘s journey will bring us back to you
Until then be it fast or slow, whatever pace time may go, May our love for you, you always know.
On your birthday there’s one thing we know for sure, God has blessed us to have met you on this special day many years ago. Happy birthday Bryson, we love and miss you deeply
May your day be filled with Heaven’s precious gifts and our thoughts and wishes from earth below.
So here’s to you our beloved son from your family on earth, we send you our love!
Then, now and always
Mom, Dad, Amanda and Sydney XOXOXOXO





JOHN CASTON
2x13.8
PGC002431


Solotwinski,GraceF. September3,1937-February15,2022
ItiswithgreatsorrowweannouncethepassingofGrace F.Solotwinski.Survivedbyhusbandof62years,three daughters,fivegrandchildren,andtwogreatgrandchildren.
ROB KEDDIE
2x41.8
August31,1945-February17,2022
PGC002433
CarlDeCiccio,railroaderforever,receivedhislastorders onFeb17,2022,andisnowinhishometerminal.Bornat homeinAntice,NorthernOntario,hisCNRcareerbegan onsectionandB&B,thenconductorandfinally locomotiveengineer.AfteramovewesttotheBCR,he becamearenownedmountainengineer.Hethenbecame aterminalsupervisorbeforechangingcareersagainto becomearailroadinspectorfortheprovinceofB.C. LastinglegaciescanbefoundinAnytimeisTrainTime, TumblerRidgeelectricraillineandVancouver’sSkytrain. Safetyfirstwasalwaysforemostinhismindandcanbe reflectedinmanychangestotherailroadoperatingrules andregulations.Whennotworking,hecouldbefound runninghiscollectionofmodeltrains,fishingand enjoyingtimeatOscarLake.Rememberedbyhiswife Christina;formerwifePeggy;childrenCarlene(Robbie) andDean;grandchildrenChristopher,BrettandPaige; andgreat-granddaughterPiper.Noserviceathisrequest. DonationscanbemadetothePrinceGeorgeRailwayand ForestryMuseumortheCanadaCancerSociety.
Darold R. Annis
June 10, 1960 - February 10, 2022
And now there are 5

Darold Robert Annis born June 10, 1960 passed away February 10, 2022. Predeceased by his mom Sally 1980 and partner Germaine 2021. He leaves to mourn his passing his 3 boys; DJ, Victor and Cory along with their families; his dad Roger (Sharon), siblings Marlene, Marcel (Lauri), Pauline (Mike), Tammy, Roger (Sharon) and many nieces and nephews. Thank you goes out to all the staff at Gateway Complex Care for making a difference in Darold’s life. A special thank you to Amber, Antero & Carmen for all the special visits. There will be a small family service in the summer.





October 3, 1949February 19, 2022
With heavy hearts we announce the passing of Monika on February 19 after a lengthy battle with Alzheimers and a two week battle with Covid. Survived by loving husband of 31 years, Maurice Lapointe. 4 children - Brian Jack Andy Lapointe (Melonie Frankforth), Lorraine Collie (Zayne Collie), Bernie Lapointe, sister, Inge Nair (Guy Lapointe). 10 grandchildren, 8 great grandchildren and numerous nieces, nephews and friends. Predeceased by mother Marie, father Gunther and brother, John. Monika was employed by BC Telephone, LPN at Lions Gate Hospital Pediatrics, Prince George Secondary School for 12 years, College Heights Secondary School for 26 years, Victim Services Assistant Co-Ordinator for 1 year. Monika also volunteered at Victim Services for 10 years. Monika was a long time member of Royal Canadian Legion, Branch #43. Thank you to the compassionate team at Parkside and Susan Scott’s endless support. Expressions of sympathy may be made to The Alzheimers Society of BC. Service for Monika was held at Immaculate Conception on February 26 @ 1:30pm. Thank you to Prince George Funeral Service.


Ellen Foster
It’s with heavy hearts and deep sadness that we announce the passing of our mother Ellen Foster (formerly Cranston, nee Brook) on January 18, 2022 at age 67. She sadly lost a brave battle to cancer and passed away peacefully with her family and friends present, in Queen Charlotte Island Hospital. She is survived by her husband Warren Foster, her sons Brad (Sandra), Jeff (Haruka), Sean (Melissa), sisters Lori (Lloyd), Wendy (Andy), Pat (Warren), her brother Bruce (Desi), five grandchildren, step daughters Sandra (Rick), Crystal (Billie) the father of her children, numerous nieces, nephews, extended family, and amazing friends.
Ellen was born in Sudbury, Ontario then moved to the lower mainland in her teenage years where she eventually met her first husband. She then moved to Prince George where she happily lived for the next 30 years before taking a temporary then eventually permanent job in the magical place of Haida Gwaii. This place touched her like no other and her fondest memories were spent there camping and Beachcombing.
She’ll be sorely missed by us all. In lieu of flowers, please consider donating to the BC Cancer Agency

1943-2022
ALLAN (AL) A. BURY, of Lethbridge, AB, passed away peacefully at his home on Friday, February 4, 2022.
Allan was born on February 15, 1943 to Walter and Jessie Bury in Edgworth England. The family emigrated to Canada during Allan’s childhood years.
After meeting his wife Donna in 1964, they moved to Terrace, BC, where they wed in June 1965, going on to have two children: Lee and Tracy.
After Allan retired from the Automotive Sector in Terrace, they moved to Prince George. Allan and Donna decided to foster teenagers in their home. They opened their home and hearts to any youth placed in their care. Their unconditional support and acceptance impacted many youth, with many going on to marry and have their own children, believing that Allan and Donna showed them the true meaning of acceptance of oneself and of others.
At Allan’s request, no services will be held. The family requests no flowers or donations.
To send a condolence, please visit www.cornerstonefuneralhome.com

1939-2022

It is with deep sadness we announce the passing of our beloved husband and dad, George Kevin Seward Roon (Kevin). He passed away peacefully at Gateway Lodge in Prince George, BC.
He is survived by his loving wife Marie, children, grandchildren, great grandchildren, his brother Mickey and sisters Lorraine, Vivienne and Kerry. Also, numerous nieces and nephews. He will be greatly missed by all.
We would like to thank all the staff at Gateway Lodge for the care they provided and their constant compassion. In lieu of flowers, please donate to the Parkinson’s Society.
A celebration of life will be announced at a later date.
September 2, 1929 – February 19, 2022


Born Ethel Victoria Alexander in Burks Falls, Ontario. At the age of 21 she moved to Muncho Lake on the Alaska Hwy where she worked at a fishing lodge owned by her uncle. There she met husband Moe of 65 years. Ethel is predeceased by her husband and her eldest daughter Frances. She is survived by daughters Maureen (Dale), Corine (Steve) and Delta (Norman). She was blessed with 9 grandchildren and 10 greatgrandchildren. Thank you to the staff of Pleasant Valley Manor in Armstrong, BC for their outstanding care over the last few years.
DARRYL SCHLITT 2x65.5 PGC002432

SCHLITT,EllaE. December12,1932-February15,2022
Inthecompanyofherfamily,ourlovedmom,grandma andgreat-grandma,passedpeacefullyonFebruary15, 2022,attheageof89.
Momwillbeforevercherishedandrememberedbyher threesonsByron(Karen),Torrence(Alma)andDarryl (Dawn);grandchildrenKyle,Kelsey,Haley,Hannah, Zachary,Eric,RileyandNina;andgreat-grandchildren Hadley,IslaandWells.PredeceasedbyherhusbandEarl; brothersOtto,Arnold,andEmil;andsistersFriedaand Herta.MomissurvivedbybrothersClifford,Robert,and sisterIda.
EllaSchlitt(Tomm)"Nana"wasborninPrinceGeorgeand latermovedtoVancouver.Ellametherhusband,Earl SchlittwhilevisitinginPrinceGeorgeandlaterreturned toPrinceGeorgetoraiseafamilywithEarl.Ellaenjoyed manyyearsofattendingthePentecostalTabernacleand variouscareerpathsincludingaveryenjoyable employmentwithMacleod’sdepartmentstore.
AcelebrationofMom’slifewillbeheldatHenderson’s FuneralHome,45901VictoriaAve,Chilliwack,BC,on March19at12pm.




Myron
Sambad, loving husband, father, loyal friend, outstanding community contributor and long time Prince George business owner passed away peacefully at the Kelowna General Hospital on February 18, 2022, with his daughter Laurel and Shirley’s son Michael at his side.
Even though Covid was listed as the cause, it was beaten to the finish line by 87 great years of community generosity,anexuberant life, much laughter and agreat love for his wife Shirley. Shirleywas Myron’s world for 36 years. Theywerebusiness partners, international travelling companions and playful kids. Theywereinlove. Withouta doubt, Myron is holding her hand right now.
It is cliche to saythatsomeone had an amazing life, but Myron truly did. He was born in Montreal Quebec on October 1, 1934 to Russian Jewish immigrants Maximillian and Esther Sambad. Maximillian was atailor who sewed the suits he wore to school; Myron was the best dressed kid in school.
After graduation Myron started his working career as afurniture upholsterer,and then recognizing agreater calling went into commercial electrical work with Hume and Rumble in Vancouver.Inthe early 70’s he movedtoPrinceGeorge where he started his own successful electrical companySambad Electric. In 1983 he purchased the oldest electrical motor rewind companyintown, Bater Electric which he operated until finally selling in 2019.
October1,1934
February 18, 2022

Decades of generosity defined Myron’s community leadership. It is an impossible task to list all the volunteerand philanthropic work he did overthe fifty plus years of being adriving force in the creation and support of the community foundations and organizations that made Prince George the community that it is now.Myron either sat on the board or was past president of almost every foundation and organization in Prince George.
In 1991 Myron became afounding member of the Prince George Regional Hospital Foundation which later became the Spirit of the North Healthcare Foundation and served as their first president. At the 25th Anniversary of the foundation he was acknowledged as aPatron for his tireless work as an advocate, contributor,and fundraiser for the foundation. In particular was his dedication and proudest achievement as founding president and board trustee of the Prince George Regional Hospital Association, continuing to hold that prestigious seat for 9 years and then 11 yearsasBoard Trustee on the Vancouver General Hospital. Myron was also aproud founding member of the Interior University Society (UNBC).
Myron enjoyeda fifty plus year membership with the Prince George Shriners, Gizeh Temple. He looked so good in his burgundy fez and wore it proudly.For those old enough to remember the Prince George Hospital annual TV Telethons, Myronwas the Jerry Lewisof thetelethon. His Shriners tassel would bobble and bounce around that stage for days as he opened reluctant wallets from across the B.C. Central Interior.Hewould cajole until he was hoarse. Millions flowed.




•Hewas president of the Prince George Construction Association.
•Hewas president of Rotary International.
•Hewas president of the Electrical Contractors Association.
Myron was always kind and generous to his family often taking them on family vacations, golfing and sharing his love of scubadiving with Michael up until his 80th.birthday. The highlight of his and Shirley’s days in the Okanagan were the manyfabulous gourmet family dinners at their daughter Laurel’s house in Peachland.
Myron could laugh. Imean REALLYlaugh. His eyes would sparkle as something tickled his humour.One daythe cupola from his roof blew down. Chuckling, he hauled it off to the front of his drivewayand nailed his house number to it!Myron was easy to smile but not one to waste.
Myron was predeceased by hisbrother Colinand sister in-lawTrudy.Heleaves behind the love of his life Shirley, Shirley’s son Michael Windsor (Esther), grandchildren Noah and Nathan Windsor,daughterLaurel Heynsbergen (Jack), son Richard Sambad (Margaret Lee),grandchildren Kailee and Zachary and their spouses, his great grandchildren and also cousins from Montreal; Edna Eisenberg (Seymour), Marilyn Scheffer (Joel), Thelma Campbell, Harvey Savage, Selma Savage and Mark Liflan..
Myron was Shirley’s world and she will miss him terribly.
Don’t go too far Myron. We’ll all be along shortly.

June 3, 1935 – Feb 15th, 2022
Gerry Dulmage of Prince George B.C. died on February 15th at the age of 86 after a long battle with dementia, but his trademark kindness and easy-going nature will not be forgotten.
Born in Mullingar Saskatchewan, Gerry moved with his parents Claude and Adeline Dulmage, and older brother Roy, to Vancouver around 1945, where he made lifelong friends. In 1956 he started his teaching career in B.C., then in Soest, Germany, with the Canadian Armed Forces. It was there that Gerry met and married Mai Jaansalu, another Canadian teacher at the base, and together they travelled all over Europe before returning home. They soon welcomed their son, Scott Dulmage (1968-2001), moved to Prince George, and had two daughters Tianna and Andrea.
Gerry taught humanities at DPSS and then PGSS for over thirty years and retired early to spend more time reading history books and spy novels, walking (or skiing) almost every day, and playing tennis. He loved his wife, Mai, whom he was married to for over 56 years. Gerry, Mai and friends hiked all the local trails and parks. He enjoyed fishing, canoeing, camping, and naps. He was a ballroom and country square dancer, a curler, and a ranked bridge player.
Beloved for his generosity of spirit, kindness, and gentle nature, Gerry continued to be a bright spark of happiness for all those who loved him. Even after Gerry went into care, Mai was there almost every day to make sure he got his daily walk, a good massage, and some favorite snacks.
Gerry is free now, released from care and hopefully hiking around the universe making everything just a little bit brighter. He will be greatly missed and fondly remembered by family and friends. A celebration of life will be announced at a later date. In lieu of flowers, please consider donating to your favorite Alzheimers/Dementia research fund.
August 9, 1967 - February 20, 2022
With heavy hearts we announce the passing of Richard Joseph Bachand on February 20, 2022. Son of Rene and Janet Bachand. Richard leaves behind many loved ones; brother Michael (Crystal), Meagan, Sean and Chantel (Jaron); brother Alain (Tanya), Ryan and Kyle and many many aunts, uncles and cousins.
The family would like to thank and send their love to all who stood by his side during these difficult times and who got the pleasure to spend time with him throughout his life.
We would also like to thank all who brought food and support.
A special thanks to Sarah the home care nurse, Ryan at UHNBC and all the other Nurses and Doctors that helped him with care.
A Celebration of Life was held on Saturday, February 26, 2022.




“And think of him as living in the hearts of those he touched.... for nothing loved is ever lost and he was loved so much.”
As you share the
TED CLARKE 2x88.3
PGC002434

Burton,Claire
April18,1932-February9,2022
MomwasborninUpperKennetcook,NovaScotia,on April18,1932,andpassedawaysuddenlyathomein PrinceGeorge,BC,onFebruary9,2022,leavinguswith brokenhearts.
ShemovedfromLattiesBrook,NovaScotia,tojoinour dadinDomeCreek,thenontoPenny,andBuckhorn, livinginvariousloggingcamps.Theyeventuallymoved totheBonnetHillareaandfinallysettleddownintown. Momwasaforcetobereckonedwith,andeverythingshe didwaswithfullforce.Inthelastyears,sheenjoyed workingwiththeladiesauxiliarygiftshopandatthe hospital,meetingnewfriendsandmanningthe informationdeskinhercutepinksmock.Itwasajobshe absolutelyloved.
SheispredeceasedbyherhusbandStanleyandher grandsonGarrett.
SurvivedbyherbeloveddogJack;childrenCindy(Rick), Stanley(Darlene)andHope(Jim);grandchildrenBen (Kaelynn),Dayna(Mike),Amanda(Lanny),Todd(Amy) andAlyssa(Ryan);andgreat-grandchildrenPayton, Emery,Madison,Taylor,Kaiden,Makena,Riveranda babygirlontheway.Sheisalsosurvivedbyhersister RuthieinNovaScotiaandbrotherArnoldinBritish Columbia,aswellasmanyniecesandnephews. Momhadsomefantasticneighbours,TedandJoyce,who sheconsideredfamilyandwithoutwhom,Momwould havebeenataloss.Themealsyoubroughther,thevisits withherandbeingthereforherwereagreathelptoallof us.Wecan’tevenbegintothankyouforeverythingyou didforher.Also,toChadandJeanetteandyoungMiles, yourkindnesstoMomneverwentunnoticed,andMom alwaysenjoyedthestoriesMileshadfor"MissClaire." Mom,wearegoingtomissyousomuch,andlifewill neverbethesamewithoutyou.Jackwillbelovedand caredforjustaswepromised.
Noserviceorflowersbyrequest.
Celebrate the lives of loved ones with your stories, photographs and tributes
Christopher Allan
Teichman
Born November 13, 1977 and left us too soon February 16, 2022

Chris is survived by his daughter Briley, son Landon, parents Dawn and Allan, siblings Jaime (Scott), Dan (Joy), Christine (Jamie), Grandmother Eileen, aunts and uncles Debbie (Ean), Candy (Ken), Danny, Denise, numerous nieces and nephews and too many good friends to mention, you know who you are… and we can’t forget his best friend Taco who was right there with Chris every time he started his truck.
Chris was born and raised in Prince George and following in his father’s footsteps started his truck driving career at age 18. Chris was born into a trucking family and had a passion for it. He was well known in the trucking community as a straight shooter with a great sense of humor. Aside from Peterbuilts, Chris was very passionate about his kids and family and loved spending time with family out at the lake. Many memorable days and nights were had in the water and on the beach around the bonfire.
Chris also loved tinkering with the motorbikes and old cars he would spontaneously bring home whenever he felt the urge for a new toy.
Chris was a stand-up guy, he was honest, said what he felt and if you were his friend, he was there for you.
Chris was always up for something fun and throw in his awesome sense of humor, fun and laughs were guaranteed.
Chris put on a lot of miles and should have put on a lot more.
As per Chris’s wishes, a celebration of life will be held at the Teich Beach in the summer.
Keep On Truckin Chris!








stories and the memories of how they lived their lives and how very much they meant, may you find comfort...











Time will not dim the face I love, The voice I heard each day, The many things you did for me, In your own special way. All my life I’ll miss you, As the years come and go, But in my heart I’ll keep you, Because I love you so.

January 27, 1931 – February 13, 2022
Hank was born in Quill Lake, Saskatchewan to Albert and Frances Bugara, and was the last of seven children. He was proud of his Polish heritage and his prairie roots.
Hank attended the University of Saskatchewan, obtaining a B.Sc. degree and began a career in education. He started teaching in a small rural school, then found his way to Dawson City, Yukon. He distinguished himself and was soon offered the principalship of F.H. Collins Secondary School in Whitehorse, Yukon. It was here that he met Myrna, an elementary school teacher, who later became his wife. They married in 1959, later having two children together: Robyn and Jaime.
In 1968, Hank, Myrna and family came from outside, relocating to Prince George, B.C. He began as the science department head at Lakewood Jr. High School. Again, his talents were recognized, and he quickly advanced to vice principal, principal and finally Assistant Superintendent of School District 57. He pursued and achieved a Masters of Education degree soon after at the University of Victoria. During his working life, Hank met and made many lifelong friends, many of whom he mentored and helped in their careers. He was the complete professional.
There was another side to Hank Bugara. He and Myrna loved to entertain, and from their small kitchen Myrna turned out fantastic meals while Hank made a mean Manhattan. He loved to sing and was always the “life of the party”. Hank possessed a quick wit and a dry sense of humor. He loved to tell jokes and stories, often with himself as the fall guy but was not against a well-meant jibe at a friend.
In his early years, Hank contracted polio, which would necessitate wearing braces later in life. This challenge never prevented him from pursuing his interests. He became an excellent curler and could be seen frequently on the ice at home and at bonspiels, proudly sporting his green Saskatchewan sweater. A childhood hockey player and longtime fan of the sport, he (and Myrna) delighted in holding seasons tickets and avidly cheering on the Prince George Cougars. He boated and fished from the family cabin at Summit Lake, and he canoed the Bowron Lake chain with friends. Truckin’ around town keeping up with friends and former colleagues was important to Hank until age and illness began to take its toll.
Hank Bugara was first and foremost an educational leader, recognized and respected as such throughout the educational community. He has taken immense pride in watching his grandchildren grow, learning new ideas alongside them and rejoicing along the way in their varied accomplishments. His legacy will be that of family, friendships, integrity, student centered learning and a talented dedicated educator. He is now reunited with his beloved Myrna.
Hank was predeceased by Myrna in 2021. He leaves behind his children Robyn and Jaime (Lori) and grandchildren Zachary, Cory, Sarah and Tyler, and expected great grandchild.
The family would like to give thanks to the office of Doctors Turski, Siemens, Boutcher and Shepherd as well as Colleen. Also, thank you to the staff at Hospice House. A celebration of life for Hank and Myrna will be held at a later date, likely in the summer.
In lieu of flowers please consider a donation to the Heart and Stroke Foundation of Canada or to Diabetes Canada.


Established Franchise
Photography Business
Serving Northern B.C for over 35 years
Gross Revenues of $150.000 plus annually from seasonal work
Lots of opportunity to expand the business.
Transition support available to the right buyer
Office 250-596-9199
Cell 250-981-1472
Established Franchise Tax Preparation Business Mackenzieservicing and McLeod Lake area for over 30 years.
Gross Revenues of $85,000 to $90,000 Annually and Potential to expand revenues in a growing economy.
Transition support available for the right buyer.
Serious Inquires Only
Office (250)997-9003
Home (250)997-5538
Cell (250)990-0152
The Friends of the Prince George Public Library Society will be holding its Annual General Meeting via video conference on Wednesday, March 23, 2022 at 5:30 p.m. If you would like to attend please register by sending an email to friendspgpl@gmail.com by no later than Wednesday, March 16th, 2022. Upon receipt of your email, we will forward you instructions for how to attend the annual general meeting via video conference.
People interested in becoming involved with the Friends of the Prince George Public Library Society are encouraged to attend this Annual General Meeting. If you are interested in joining the Friends’ Board of Directors, or in volunteering in any other capacity, please contact us through the email address above.































Birthdays,Annivers aries, Graduation or AnySpecial Occasion Look Who’s Celebrating runs every Thursday(Deadline Fridays at 3pm).
To book your spotcall 250.562.6666










































































































On Saturday, February 12, 2022, our daughters Baileyand Jessica began the new chapters of their lives at Kaloya Park in LakeCountry.





The ceremonies were at the very spot where Mikeand Colleen were married, and where the moment was shared with the spirits of Colleen’s parents, under ablue spruce planted in their grandfather’s memory





















































































It was abeautiful and emotional day, and aperfect beginning to their married lives. Congratulations Bailey &Orion Oliver and Jessica &Lenny Millions! Colleen Sparrow andMike Chartrandare so happy to welcome twowonderfulyoungmen to their family.


















































































The Prince George Citizen is looking for a freelance photographer. Interested candidates please email lsmith@glaciermedia.ca along with some samples of your best photos.
Trucking & Transport
Experienced Class 1 gravel truck driver required in PG area (250) 614-6667
Services for Hire
FREE REMOVAL of unwanted cars, trucks or equipment. Call George (250) 614-8915
How to write a classified ad that works.




Writing an effective classified ad is easy when you use these time-tested principles.
Writing an effective classified ad is easy when you use these time-tested principles.
• Use a keyword. Start your ad with the item for sale, ser vice offered or the job title.
• Use a keyword. Start your ad with the item for sale, ser vice offered or the job title.
• Be descriptive. Give customers a reason to respond. Advertisers have found that the more information you provide, the better the response.
• Be descriptive. Give customers a reason to respond. Advertisers have found that the more information you provide, the better the response.
• Limit abbreviations. Use only standard abbreviations to avoid confusion and misinterpretations.
• Limit abbreviations. Use only standard abbreviations to avoid confusion and misinterpretations.
• Include price. Always include price of the item for sale.
• Include price. Always include price of the item for sale.
• How to respond. Always include a phone number (with area code) and/or street and email address.
• How to respond. Always include a phone number (with area code) and/or street and email address.
Quesnel Sand & Gravel is look ing for a full time logging truck driver for the 2022 hauling season. Work will be in the Quesnel area.
Benefits are available after 3 months.
Please send resume’s to qsgravel@outlook.com or call the office at 250-992-2388

Dollar Saver lumber operates a lumber re-manufacturing operation in Prince George We currently have an opportunity in our management group for a Sales Production coordinator.
This position is responsible to perform the following functions:
• Co-ordinate purchase of raw material to meet mill requirements
• Co-ordinate Shipments of finished products to existing customers.
• Work with Mill Management to ensure optimal inventories are maintained.
• Communicate with customers to ensure their needs are being met Preference will be given for persons
• Good computer skills including proficiency with Microsoft Excel.
The successful candidate will possess the following qualities
• The ability to deal with customer needs in a calm constructive manner
• The ability to adjust to rapidly changing conditions and developments
• The ability to work both independently and as part of a team.
• Good analytical skills
The position offers:
• A competitive salary and benefit package
• Opportunity to work in friendly non- bureaucratic environment

We are looking for a Maintenance & Production Super visor with either Sawmill or Planer Mill experience. As a Maintenance & Production Super visor you will be responsible for the management of the employees and their safety as well as the lumber volumes produced. The potential candidate will report to the General Manager and apply their knowledge of processes/equipment to facilitate smooth operation of the Sawmill and or Planer.
Responsibilities:
• Maintain high standards with respect to safety, leading by example and ensuring the team follows all policies, procedures, practices and Occupational Health & Safety regulations.
• Identify oppor tunities to improve and look for oppor tunities to reduce cost, while safely meeting production targets
• Coach, train and suppor t team members to maximize per formance.
• Record keeping for time and attendance for payroll purposes.
• Excellent communication skills with employees in all depar tments
Skills:
• A minimum of three years in leadership experience in a Sawmill or Planer Mill
• Strong experience in employee per formance management.
• Knowledge of continuous improvement principles of Sawmill/Planer operation
• Safe work habits and a working knowledge of Occupational Health & Safety regulations.
• Working knowledge of web-based computer applications and Microsoft Office, Excel and Word.
• Excellent analytical, problem solving and decision-making skills. Qualifications:
• Post Secondary diploma or college degree in wood products would be an asset
• Experience in managing a team and general labor in unionized environment.
• Strong experience in employee per formance management.
• Knowledge of continuous improvement principles of Sawmill/Planer operation
• Good knowledge and understanding of the mechanics of the Sawmill & Planer machines.
Location:
• Terrace is a hub city nested between Smithers, Prince Ruper t & Kitimat we have endless outdoor adventure and beautiful scener y all around us You might take advantage of activities such as skiing (downhill/backcountr y/ cross-countr y), snowmobiling, boating, camping, hiking, kayaking, mountain biking, AT V-ing, and world renowned salmon and steelhead fishing.

• Population is approximately 13,000.

To advertise, call 250-562-6666 or email cls@pgcitizen.ca
To place your ad call: 604-630-3300
To place your ad call: 604-630-3300
Please submit your resume to Frank Skerlak, General Sales Manager at fskerlak@lumber.ca or Bev at: gobbi1@telus.net Only those persons chosen for an interview will be contacted.
The anticipated star t date for this position is immediate, so please refresh your resume, and email to info@skeenasawmills.com



load. $900. or bucked to length $1050 per load delivered 250614-6667
BIRCH Firewood in 20 foot lengths. Delivered by dumptruck load. $900. or bucked to length $1050 per load delivered 250614-6667
1998 KENWORTH with mixer trailer, white. $120,000. 617-3373
SAWMILL, 48” head rig, hand set, completely rebuilt, $8000 obo plus parts. 250-441-3242









NEW 30’ x 50’ All Steel Commercial shop, never assembled, c/w complete set of drawings and engineer cert. Has straight outside walls, 1 12’ x 14’ service door opening, 1 3’ man door opening, inside clearance 16’, roof has 3/ 12 pitch that is 20’ high at peak. Outside wall cladding painted tan. $30, 000 Call Bob 250-983-3372
BUYING OLD JEWELRY Gold, Silver & costume jewelry! Charm bracelets, rings, chains, necklaces, pocket watch chains, watches, bracelets, necklaces, earrings, brooches, coins, all old jewelry WANTED, QUALITY, ESTATE, EVEN UGLY & BROKEN JEWELRY, ALL THE BITS AND PIECES YOU NO LONGER WANT! CALL OR TEXT Todd’s Coins 1-250-864-3521
Frontier Traders 168 Front St, Quesnel, BC (250) 983-2294
Will purchase estate items; antler mounts, bear rugs, live mounts, hides.
WANTED 999 BULLION bars & coins!ENGELHARD, JOHNSON MATTHEY, RCM, Maple leafs + All other mints. Also Buying old money, all gold & silver coins, coin collections. + BUYING all things made with gold or silver. Todd’s Coins 1-250-864-3521



WANTED COIN COLLECTIONS, old money, all gold & silver coins, Royal Canadian Mint coins. Also BUYING 999 BULLION bars & coins. ENGELHARD, JOHNSON MATTHEY, RCM, MAPLE LEAFS + ALL OTHER MINTS. + BUYING all things GOLD or SILVER! Todd’s Coins 1-250-864-3521
PAY For all gold, Estate jewelry, scrap or unwanted, coins & currency, antiques,





Sudoku puzzles are formatted as a 9x9 grid, broken into nine 3x3 boxes. To solve a Sudoku, the numbers 1 through 9 must fill each row, column and box. Each number can appear only once in each row, column and box. You can figure out the order in which the numbers will appear by using the numeric clues already provided in the boxes.



NOTICETOELIROBERT
NAZIEL Takenoticethat yourmanufacturedhome locatedat2-7128 OtwayRoad,Prince George,BCmore particularlydescribedas MHReg:056348, Manufacturer:Alma, Make/Model:1470-5, Year:1983,SerialNo: 1506,willbedisposedof aspermittedunderthe ManufacturedHome ParkTenancyActunless youestablisharightto possessionofthehome, ormakeanapplicationto establishsucharight, andtenderpaymentof alloutstandingrent arrearsandamounts owingtothelandlord. Thelandlord,Kozel HoldingsLtd.,canbe contactedcareof DrouillardLawyers,Suite 1910,777HornbyStreet, Vancouver,BC,V6Z1S4.
Between, CORRINE BLACK or anyone related, with a mobile home
MHR#35895, at #28 - 1720 Prince George Pulpmill Road, Prince George V2K 5P2 and Spruce Capital Trailer Park Ltd., 766 69th Ave. W, Vancouver, B.C. V6P 2W3 (778-386-8036). I, Spruce Capital Trailer Park Ltd., will dispose of the above-mentioned mobile home unless the person being notified takes possession of the property establishes a right of possession of it within 30 days from the date the notice is served on that person.

A way to prepare
Group of badgers
Peyton’s little brother
30. Rock out
31. Danish krone 33. Take from with force
Baroque musical instrument
36. Zodiac sign
38. Hebrew alphabet letter
40. Independent member of a clone
41. Type of garment 43. Satisfy
44. One point south of due east
45. A way to wipe out
47. Moved quickly on foot
48. Bar bill 51. An idiot
53. Performed with the voice silent
55. Body fluids
56. Rhythmic patterns
58. “__ my i’s”
59. Type of wrap
60. It shows who you are
61. Carousel
Type of college degree
Molding
Closes again
Verses
Surface
OldGal’sTax and Business Services Bookkeeping Services small to medium business, Personal Income Taxes, Wills, Living Wills, POA, and other business ser vices upon request. 250-561-0415 carol-ann@oldgals.ca
FRONTIER TRADERS 168 FRONT ST,QUESNEL, (250) 983-2294
WILL PURCHASE ESTATEITEMS; ANTLER MOUNTS, BEAR RUGS, LIVE MOUNTS, HIDES.


DESIGN TRENDS • HOME IMPROVEMENTS & RENOVATIONS • OUTDOOR LIVING
Whether it’s a child’s room, guest room or main bedroom, small rooms can be difficult to design. Here are some ideas to maximizetheavailablespace.
• STORE THINGS UNDER THE BED
Buy a bed with built-in storage orsimplyusebinsandboxesto storethingsunderneath.Ifyour bed is too close to the ground, use bed risers to elevate it. Alternatively, consider investing in a loft bed to free up space on the floor for a desk, sofaorplayarea.
• OPT FOR DOUBLE-DUTY FURNITURE
Lookforfloorlampswithshelves, ottomans with storage
space and cabinets fronted by a full-length mirror Also,considerthatadeskcanserveasa nightstand, and a dresser can be used as a changingtable.

• HANG SHELVES ABOVE DOORS
This often-ignored area is an idealplaceforashelf.Buypretty baskets or bins to hold your things, and neatly display them inthisout-of-the-wayspot.
• USE THE SPACE BEHIND DOORS
Usethebacksofclosetandbedroom doors to hang hooks, towel bars, over-the-door organizers or peg boards. This will makeiteasytostoreyouritems.
In general, designing vertically will allow you to make the most of a small bedroom. Installing shelves and cabinets close to the ceiling is particularly useful and willhelpyoukeepthespacetidy




























































before you hire them
To hire the right contractor for a home renovation project, you’ll need to interview several candidates In addition to finding out if they’re licenced and insured, make sureyouaskthefollowingthreequestions.

Sometimes the person you sign the contract with isn’t the person who becomesyourmainpointofcontactduringthe project.Toavoidmiscommunicationsthat could lead to mistakes, it’s best to have onepersonwhoyourelayinformationto
Ask your contractor if there are circumstances in which the cost of your renovation might increase Afterall, it’s best to be prepared You should also be wary of contractors who hook clients with a lowball price only to nail them with extra chargeslateron
Warranties vary from one contractor to the next, so you’ll need to ask each one what their warranty covers. Also, there’s a difference between a warranty for the work done and a warranty for materials, sofindoutwhichoneisoffered
Lastly, it’s a good idea to ask your potential contractor how long they’ve been in businessfor.Hiringalocalcompanywith alongstandingreputationforexcellenceis agoodwaytoensureyouendupwiththe best contractor for your home renovation project.







5 ways to transform your home on a budget

If your home could use a facelift but you’re low on funds, you may be considering repainting. Here are five other fantastic but affordable ways to give yourlivingspaceanupgrade.
1.Updateyourwindow treatments. Pick outnewcurtainsinapatternyouloveor optfor shades orblinds that complement thestyleofyourhome.
2.Refinish your cabinets. Wood cabinets in the kitchen, bathroom or elsewhere can be stripped, sanded and stainedorpaintedtocompletelyrefresh their appearance. Swap out knobs and handles to further changetheirlook.
3.Re-caulk in the bathroom. Apply a
fresh coat of caulk to the space around the tub and between the toilet and floor It’s a small detail that can make a big difference.
4.Redo the flooring. There are budget-friendly flooring options including vinyl, carpet and laminate. Unlike wood and stone,theseproductsarefairlyeasytoinstallonyourown.
5.Replace light fixtures. Look for affordable but timeless fixtures or consider investing in a statement piece for your frontentranceorlivingroom.
Youcan findthe materials youneed at the hardware, lighting and home decor stores inyourarea.















































































