Ormond Beach Observer 6-15-23

Page 1

INDEX Business PAGE 9A Calendar PAGE 2B Cops Corner PAGE 6A The Fine Arts PAGE 4B Letters PAGE 12A Public Notices PAGE 8B Sports PAGE 5B Real Estate PAGE 7B Exhibiting artist Mary Wentzel, left, shares her artwork with friends Jim and Linda Bishop. Observer YOU YOUR NEIGHBORS. YOUR NEIGHBORHOOD. VOLUME 11, NO. 41 THURSDAY, JUNE 15, 2023 BUCS TRAVEL TO USF PAGE 5B Volusia’s new pilot program asks citizens to sign pledge to restore and enhance local scenic byway. PAGE 3A County seeks to ‘Regrow the Loop’ Ormond Enclave, a 64-unit multifamily development, is approved by the Planning Board. PAGE 2A Apartment proposal gets board’s OK Photo by Suzanne McCarthy INSIDE FUTURE PLANS Ormond Beach outlines $19 million in capital improvement projects for next fiscal year. PAGE 4A MAYOR’S VIEW Ormond Beach Mayor Bill Partington proposes ideas to address traffic problems. PAGE 12A TEACHERS WANTED School Board urges district to address classroom vacancies. PAGE 5A SUMMER DOLDRUMS In his “Make Yourself at Home” column, Brian McMillan details the battle with boredom. PAGE 12A SURGEONS IN TOWN Three new colorectal surgeons join AdventHealth. PAGE 8A NEW CANDIDATE Local businessman Jason Leslie to run for mayor in 2024. PAGE 5A ORMOND BOUND The Youth World Series will return to the Ormond Beach Sports Complex. PAGE 6B ORMOND BEACH Ormond Memorial Art Museum’s new exhibit features the art of colorful storytelling. PAGE 1B Imagine that
McCarthy Former
stand in
of
Elementary
End of an era Tomoka Elementary principals bid farewell to school campus before demolition. PAGE 10A ‘Weight’ to go! Fisher Lifting in Ormond Beach celebrates one-year anniversary. PAGE 9A Fly like an eagle Seabreeze’s Zachary Banks will play baseball at Embry-Riddle. PAGE 6B TURTLE TRACKS Total nests: 498 New nests: 70 Loggerhead nests: 471 Green: 21 Leatherback nests: 2 Kemp's Ridley nests: 4 Nests in Ormond: 73 Nests in Ormond-by-the-Sea: 156
Photo
by Suzanne
Tomoka Principals Carl Persis, Julie Johnson, Susan Tuten, and current principal Julie Roseboom
front
Tomoka
for a final farewell.

CITY WATCH

Ormond Enclave plans more units

A multifamily development between Dix Avenue and Highland Avenue in Ormond Beach has received the Ormond Beach Planning Board’s approval to build 16 more units.

Beachside condos get board’s OK

The Ormond Beach Planning Board unanimously recommended approval for a proposed 24-unit condominium development at 121 E. Granada Blvd. at its June 8 meeting.

The development, known as 121 East, will include a mixture of one- to threebedroom units in a five-story building, with parking on the ground floor. The board recommended approval for a development order and a rezoning request to convert the 0.76-acre property’s zoning from “B-4 Central Business” to a Planned Business Development.

“Compact, pedestrianoriented development — it’s one of the things that that’s in your downtown overlay,” said Rob Merrell, an attorney with Cobb Cole, representing the developer. “This is definitely it.” Board member Al Jorczak said the proposal is “a way to do infill” while promoting a walkable community in the downtown.

“I think it’s a first-class development, high quality,” he said. “It will encourage a clientele, I think, that will be beneficial to the city, beneficial to our tax base.”

The Planning Board recommended approval for two rezoning amendments and a development order for the Ormond Enclave development, formerly known as “The Courtyard at Ormond,” at a Thursday, June 8 meeting. In 2019, the City Commission approved three comprehensive plan amendments for the 6.34-acre site at 145 N. Yonge St. At the time, the proposed plans included 48 units and a 10,889-square-foot commercial building.

Based on feedback from neighbors during a neighborhood meeting in August 2021, the developer — CST Holdings, LLC — opted to remove the commercial property from the plans and replace it with more multifamily units, for a total of 64 units.

“This is the first downtown multifamily (development) that we’ve been looking at in this area in over 40 years,” said Glenn Storch, the attorney representing the developer.

The first zoning amendment request was for a 0.34-acre portion of the property. The developer seeks to rezone it from “B-4 Central Business” to a Planned Business Development designation; the second request is to rezone a 0.99-acre portion of the property from “R-3 Single-Family Medium Density” to Planned Residential Development.

The rest of the property already has a zoning of PBD and PRD.

In 2009, the City Commission approved the development of a Dollar General store, a 12,000-squarefoot retail center and a 16-unit two-story townhome project on the property.

In addition to eliminating the commercial aspect of the proposal,

the developer has modified its plans to have an entrance-only, one- way access point along Highland Avenue. The main entrance and exit of the apartments, to be marketed as luxury units, will be shared with the existing Dollar General next door.

The primary concern from residents who spoke at the Planning Board meeting was traffic.

Rick Sandora said people already use Highland and Dix avenues to cut through to Beach Street during rush hours, and the apartments will worsen the problem. The speed bumps placed by the city have been ineffective, he added.

“I think we’re creating a monster that once it’s done, it’s done, and we’re not going to be able to rectify it after you allow this,” Sandora said. “I’m totally against it. I think we’re tiptoeing around the traffic problem.”

Only Planning Board member Angeline Schull voted against the development order, citing concerns

School Board Chair Jamie Haynes on teacher vacancies. See Page 5A

about traffic. The votes for the zoning amendments were unanimous. Planning Board member GG Galloway said he understood residents’ concerns. But the concerns, he said, would exist with or without the construction of the development.

“We’re constantly hearing about, ‘We’re approving stuff to create urban sprawl,’” Galloway said. “And here’s a perfect project that is coming to us to get the people back within the city, to stop the traffic from coming from outside the city into the city.”

Board Chair Doug Thomas wondered if Highland and Dix avenues, as narrow as they are, could be turned into one-way streets in the future to address the traffic problem.

“We’re no different than you,” Thomas said. “We’re citizens of Ormond Beach; we’re residents. We have the same problems you do. We have the same traffic you do. ... And we’re just ones that are up here that are trying to make our city better.”

County Council to meet June 20

The Volusia County Council will meet at 4 p.m. Tuesday, June 20, and discuss the appointment of a new corrections division director, according to a press release.

Former Corrections Director Mark Flowers was fired in January after the county reported that he had created a hostile work environment. Flowers said a county internal investigation into an alleged excessive force incident at the jail was mishandled, and that he was being retaliated against for blowing the whistle on inmate abuse.

The council will also continue its discussion of the Library Advisory Board, the creation of a “Stupid Motorist” ordinance to prohibit motorists from driving around barricades to enter flooded streets during declared local states of emergencies, and sex offender/predator residency distance requirements and playground regulations. The meeting will be held in the council chambers at the Thomas C. Kelly Administration Center at 123 W. Indiana Ave., DeLand.

BY THE NUMBERS

127

total lots planned for phases one and two of Archer’s Mill, to be located within the Plantation Oaks development.

52 acres at 860 Hull Road and 1399 Hull Trail to be annexed into the city. Email Jarleene Almenas at Jarleene@ observerlocalnews.com.

PUBLIC NOTICES

The Palm Coast Observer meets the legal requirements to publish legal notices in Flagler County, per F.S. 50.011. The Ormond Beach Observer meets the legal requirements to publish legal notices in Volusia County, per F.S.50.011.

AUDITOR INFORMATION

Circulation Verification Council 12166 Old Big Bend Road Suite 210 | Kirkwood, MO 63122 Phone: (314) 966-7711 | www.cvcaudit.com

2A THE OBSERVER | THURSDAY, JUNE 15, 2023 ObserverLocalNews.com Dr. Indira Alvarez, Au.D., F-AAA Heather Curry, H.A.S 160 Cypress Point Parkway, Suite A108, Palm Coast, FL 32164 115 E Granada Blvd., Suite 7, Ormond Beach, FL 32176 Call today for an appointment. (386) 283-4932 404978-1 Hearing loss can affect your life in many ways. • Increased dementia risk • Increased risk of falling • Decreased likelihood of being able to live independently as you age Services We Offer • Hearing testing and hearing aids • Ear cleanings and wax removal • Tinnitus (ringing in the ears) evaluation & management • Checking and testing of your current hearing aids to make sure they are properly fit See a Doctor Who Specializes in Hearing NOT a Salesman Unhappy with your hearing aids? Call us, we can help! Call today for a free hearing screening! *By Appointment Only Check out our blog for informative articles: ormondhearingcenter.com/blog 404637-1 1 Florida Park Dr. N, Suite 104, Palm Coast, FL 32137 PHONE: 386-447-9723 WEBSITE: www.ObserverLocalNews.com TO EMAIL US Email press releases, announcements and Letters to the Editor to: Jonathan Simmons, jonathan@observerlocalnews.com TO ADVERTISE Display Advertising: To obtain information, call 386-447-9723 or email advertising@observerlocalnews.com Classified Advertising / Marketplace: Call 386.447.9723, email redpages@observerlocalnews.com or place your ad online,
TO SUBSCRIBE
subscribe: Please call 386.447.9723, email subscribe@observerlocalnews.com or visit observerlocalnews.com/subscribe LIKE US www.facebook.com/PalmCoastObserver FOLLOW US https://twitter.com/PCObserver WATCH US www.youtube.com/PalmCoastObserver
classifieds@observerlocalnews.com
To
Map courtesy of the city of Ormond Beach Ormond Enclave seeks to construct a total of 64 units.
“Our schools come first. ... How do you explain to a parent when they come to meet the teacher, and there is no teacher?”

Time to plant trees

Volusia County has launched its Regrow the Loop initiative.

REGROW THE LOOP PROGRAM COMPONENTS

Alan Burton has lived on the Ormond Beach Scenic Loop and Trail for 27 years. He’s seen various campaigns about the 30-mile national scenic byway during that time.

Save the Loop. Protect the Loop. Defend the Loop.

“And I’m thinking, ‘What can be a way to make all that happen?’” Burton recalled.

A few months ago, he ran into Volusia County Councilman Troy Kent at the local Outback Steakhouse. Burton asked him, “Why don’t we try to grow the Loop?”

“Maybe we start growing trees again,” Burton said. “Maybe it’s time.”

This month, Volusia County launched Regrow the Loop, a oneyear pilot program to restore and enhance the Loop by removing invasive plant species, increasing native vegetation to attract wildlife and pollinators, and sharing information about environmentally sustainable practices residents can use to protect natural areas.

Kent brought the idea to the council during a meeting in April, and the council voted 5-1 for the pilot program. Councilman Don Dempsey voted against, saying the council focuses disproportionately on the needs of the east side of the county.

Regenerate plant coverage by increasing the number of plants/trees along the Loop using the right plant, right place principle and providing one tree to households.

Elevate awareness of the Regrow the Loop initiative through mass media.

Gather community at monthly educational activities with topics specific to flora and fauna along the loop with an emphasis on what can be done to help them both flourish.

Reclaim the loop from invasive plant species through education and volunteer removal events/ activities.

Offer a Regrow the Loop pledge where residents can commit to adopting practices that will sustain the loop and be recognized for their commitment.

Work to attract more wildlife and pollinators along the Loop by providing resources on landscaping for wildlife.

Source: Volusia County Government (volusia.org/services/communityservices/resource-stewardship/regrow-the-loop.stml)

said. “Everything — and those trees that are out there, some of them are getting towards the end of their lifecycle, and if we don’t do something now ... then my son Wyatt, who’s 17, when he’s older in his life and his kids, my future grandkids, they might not ever be able to enjoy the Loop. It could be gone.”

After the council approved the pilot program, staff created a plan to implement the program, including an online pledge for residents to sign.

Each participating household, according to a county news release, will receive a “ReGrow the Loop” sticker and a native 3-gallon tree at one of the tree giveaway events to be

The first free, monthly education activity will be held from 3-4 p.m. Saturday, June 24, at the Ormond Beach Regional Library at 30 S. Beach St.

Brad Burbaugh, county director of resource stewardship, said he always likes initiatives that plant trees, so the tree giveaway is one of the aspects of the program he’s most excited about.

Another is the partnerships that have been formed. The county is partnering with the city of Ormond Beach, Halifax River Audubon, the Ormond Scenic Loop and Trail, the Florida State Parks system, the Pawpaw Chapter of the Florida Native

It’s unique to have so many partners, Burbaugh said, but he believes it speaks to people’s love of the Loop.

“These partners came forward as soon as they heard the county was contemplating, and offered to work together with us,” Burbaugh said. “I tell them this in our meetings all of the time — that, you know, one partner can’t do it all, but we all can do something, and that’s why we’re coming together.”

The funds used for the pilot program, aside from some staff time, are coming out of the county’s existing tree fund. Burton also donated $1,000 for the program in memory of late Ormond Beach resident Sue Parkerson. Before she died, she asked Burton to stay involved in the community.

So he’s doing just that.

“She was just a tremendous force and positive force,” he said.

Kent said he’s looking forward not only to attending some of the informational sessions, but also to planting the trees. His message to citizens?

Help Volusia County and Ormond regrow the Loop.

“Take a moment away from the technology and take your loved ones and go to a place on the Loop and just enjoy nature at its finest, for a good 30 minutes,” Kent said. “It will help get your mind and body in the right place.”

In 1986, Volusia County became one of the first counties in the U.S. to pass a referendum to fund land conserva-

THE OBSERVER | THURSDAY, JUNE 15, 2023 3A ObserverLocalNews.com
The Ormond Scenic Loop and Trail File photo JARLEENE ALMENAS SENIOR EDITOR

Ormond Beach outlines $19 million in capital improvement projects

The projects are part of the city’s $120 million fiveyear Capital Improvement Program.

ALMENAS SENIOR EDITOR

The annual budget process has begun at the city of Ormond Beach, and at a Tuesday, June 6 workshop, the Ormond Beach City Commission reviewed over $19 million in projects budgeted for next fiscal year.

The projects — including a commission chambers upgrade, a study for a new EOC and police station, a drainage study for North U.S. 1 and Ormond Lakes, and an analysis of options for turning the parking lot at 56 N. Beach St. into a community center — are part of the city’s $120 million five-year Capital Improvement Program.

Projects included in the CIP, according to a city staff memo, focus on the maintenance or upgrade of existing facilities.

“Obviously, we’re going to keep coming back to your strategic goals,” City Finance Director Kelly McGuire said to the commission. “And those are the projects we really look to try

and to incorporate in the capital plan for funding for next year.”

Of the nine categories in the CIP, the ones with the highestcost projects are General Improvements ($54,145,000 million), Water and Wastewater ($28,898,912) and Transportation ($13,425,790).

About 53% of the CIP, or $64.7 million, will be funded through bonds and leases. Property tax revenues are projected to fund about 5.9% of the CIP, or $7.1 million.

User fees, McGuire said, are also a significant portion of the budget, accounting for 19.6% of funding, or $23.7 million.

“Many people think that property taxes is the largest source of funding, but it is not,” she said. “By far, users fees, related to water and sewer and stormwater are.”

OPTIONS FOR 56 N. BEACH ST.

In 2021, the Ormond Beach City Commission voted 3-2 to demolish the former Ormond Beach Union Church property at 56 N. Beach St.

The city had purchased the property for $729,000 in 2018 to turn it into a community center but ultimately decided that renovating was too costly.

Community members contested the decision to demolish the church

and build a shell parking lot in its place, saying the building had historic value and asking the commission to delay the demolition so the community could bring forth ideas for possible uses.

The needs assessment and land use study, budgeted at $60,000, would address how best to use the property as a community center.

“This project is a needs analysis to take a look and see what can be done there, if it’s feasible to do something there and if it meets the needs of what we’re looking at,” Public Works Director Shawn Finley said.

The city expects to fund the study with Community Redevelopment Agency dollars, but could acquire grant funding and would change the funding source listed on the CIP if it does, McGuire said.

ADDRESSING DRAINAGE

The North U.S. 1 and Ormond Lakes Drainage Study is the first major Stormwater Master Plan project the city will undertake, Finley said. Budgeted at $150,000, the study will consider the needs of that corridor and may suggest improvements and identify who is responsible for addressing problems.

“With the activity that’s going on in that area, we really felt that this was the right time to do this analysis,” Finley said. “That way, as there is some design on those projects that are coming up — the residential projects, some of those commercial projects — we can work together to really make sure that those projects are done correctly.”

City Commissioner Lori Tolland said the study is a good idea.

“If you think about all the residents that have to come to our commission meetings, a lot of it is with the water issues up in that area,” she said.

The city is also planning to rehabilitate its corrugated metal storm piping, which the CIP states is “failing due to corrosion and age.”

Much of it was installed over 25 years ago, and fixing it will be a $4.75 million project, with $950,000 budgeted annually for the next five fiscal years.

TELECOMMUNICATIONS

UPGRADES A $225,000 upgrade to the City Commission chambers technology — including audio/visual upgrades for livestreaming for the chambers and the meeting room where workshops are conducted — is also in the CIP.

The plan also features a $900,000 upgrade to the city’s telecommunication system, which is over 30 years old.

The current system “relies on antiquated equipment that is no longer manufactured, and has only limited technical support from AT&T,” the CIP states.

Damage caused by Hurricane Ian led to a major service interruption to the Public Works phone system for nearly three months, the CIP plan states.

“The utility billing phone system that accepts telephonic utility payments was disabled for 26 days, and most recently, the police department had several lines down for over two weeks,” the plan states.

The city will also pursue a $100,000 needs assessment and land use study for an emergency operations center, a replacement or relocation of the city’s police station, and a fire station to replace Volusia County Fire Station 13, near North U.S. 1, upon its decommission.

The project is budgeted at $51 million by the 2027-2028 fiscal year, including planning, design, permitting and construction costs.

This project, Finley said, is dependent upon legislative funding.

“Once we begin this process, it’s one that’s going to take us a little while, and rightfully so — because this is hopefully a building that we will occupy for a long time,” he said.

MAINTAINING RECREATIONAL FACILITIES

Tolland, who served on the city’s Leisure Services Advisory Board for over 20 years before being elected, asked if the city would consider separating Leisure Services facility projects out from the Renewal and Replacement fund.

She suggested creating a dedicated millage to ensure the city stays on top of maintenance for facilities like sports fields and gymnasiums.

“For instance, back in the day, 25 years ago, my kids played those fields,” she said. “Those soccer fields were really, really, really pristine. Everybody talked about how wonderful they were and how great they were, and everybody wanted to come into Ormond Beach. And I’m not saying they’re not good now, but the level has certainly decreased.”

Commissioner Travis Sargent added that the sunshades at some of the fields are rusted.

“It’s like, we have something nice that’s put in, but then it’s not maintained,” he said. “... Instead of maintaining it, now we’re replacing it when we could have maybe maintained it a little bit better.”

McGuire said there are two funds used for improving facilities, including rec facilities — the renewal and replacement fund, and the general capital fund, for a total of $900,000.

Mayor Bill Partington said he wouldn’t pursue adjusting the millage rate.

“The problem with dollars is you’re never going to have enough,” he said. “... I’d rather, if there are specific projects that you know of that need to be done or advanced, bring them to us and we’ll plug them into this year’s budget to get those taken care of, and have a good debate back and forth on them to make sure they’re priorities.”

Tolland said that’s one way the commission could address needs. But many of the problems, she said, are the result of a “slow decline” over time.

“My goal is to have the ability to let Leisure Services and parks know that they have X amount of money to do what they need to do to keep it maintained,” she said.

McGuire said staff would return to the commission at a later date with options to fund more maintenance projects for city rec facilities.

The next commission meeting and workshop are scheduled for July 18.

4A THE OBSERVER | THURSDAY, JUNE 15, 2023 ObserverLocalNews.com 260 N Nova Rd, Ormond Beach Visit Keke’s Breakfast Cafe 6/15 - 6/21 Must bring this coupon to redeem offer. Kids eat free, one free kids meal with purchase of a regular meal! 405001-1 404944-1 GET THE HELP YOU DESERVE. VISIT US AT CMMDR.COM OR CALL US NOW FOR A FREE EVALUATION Rated #1 “Hands down the best customer service I’ve ever received. Very nice and knowledgeable. Answered all my questions and gave me tons of discounts!” -Brandi T. NEW PATIENTS GET FREE GIFT & DISPENSARY DISCOUNTS! $150 RE-CERTIFICATIONS - 210 DAY PRESCRIPTIONS - NO EXTRA CHARGE FOR FLOWER GET YOUR CARD TODAY. MEDICAL MARIJUANA DAYTONA 386-222-1667 2525 W INTERNATIONAL SPEEDWAY BLVD #110, DAYTONA BEACH, FL 32114 DELAND 386-232-5599 100 S SPRING AVE #102, DELAND, FL 32720 ST. AUGUSTINE 904-299-7373 2085 A1A S, ST. AUGUSTINE, FL 32080 4720 E MOODY BLVD BUNNELL, FL 32110 386-437-0018 WWW.FLOORS-ALIVE.COM Floors Alive Floors Alive FAMILY OWNED AND OPERATED FOR 37 YEARS! WOOD - CARPET - TILE - LUXURY VINYL -ULTRA-DURABLE AND EASY-TO-CLEAN-FEATURES ANSO HIGH PERFORMANCE FIBER WITH R2X® BUILT-IN STAIN & SOIL PROTECTION-LIFEGUARD® SPILL-PROOF™ TECHNOLOGY FOR ADDED ACCIDENT PROTECTION FROM THE BOTTOM UP404954-1
JARLEENE Ormond Beach City Hall File photo by Brian McMillan

School Board urges district to address vacancies

Schools in District 4 — which includes Ormond Beach and Ormond-by-theSea — have 47 vacancies.

JARLEENE ALMENAS

SENIOR EDITOR

Volusia County School Board members echoed one central message to district staff during their meeting on Tuesday, June 13: Staff our schools.

With the district reporting 340 instructional vacancies, down from the 351 vacancies reported at the May 23 board meeting, staff assured the board that they would be focusing on hiring teachers. The vacancies, which take into account the hiring of 20 international teachers to address the shortage, are down from the 486 vacancies the district reported at this time last year, said Chief Human Resources Officer Mark West.

Still, he acknowledged that 340 was high.

“That is a lot,” West said. “But, we are early in the process. School has

just gotten out, and we realize that our principals are now definitely going to be focusing on what we need to do in regard to this.”

Districts 1 and 5 account for the largest share of the vacancies, at 85 and 82, respectively. District 4 — which includes Ormond Beach and Ormond-by-the-Sea — has 47 vacancies, with Tomoka Elementary and the Holly Hill School reporting the highest number, at eight vacancies.

The district also reported 59 instructional vacancies at the district level. But Board Chair Jamie Haynes, who represents District 1, said she didn’t want to see those positions filled until the classroom positions are addressed.

“Our schools come first,” Haynes said. “We can have teachers or people all over the place, but how do you explain to a parent when they come to meet the teacher and there is no teacher?”

Board member Ruben Colon said vacancies seemed most common at schools that had undergone recent leadership changes.

At a May 23 meeting, the district announced 13 principal and 16 assistant principal transfers.

At the June 13 meeting, the board approved nine appointments, including five new principals, one assistant principal and three district directors.

“How many of those folks are leaving because they didn’t fit well with the administrative change?” Colon said.

As for the district instructional vacancies, he suggested the district consider how many positions can be eliminated for now to ensure there are enough teachers in schools.

Deputy Superintendent Rachel Hazel said that teacher transfers don’t typically increase vacancies.

“If a teacher leaves from one school and goes to another school, it creates a vacancy at one (school), but it’s not creating more vacancies,” she said.

As for support positions, the district reported 139 total paraprofessional vacancies, 50 transportation vacancies, 38 extended day enrichment program vacancies, 37 School Way Cafe vacancies and 81 custodial

STATE BRIEF

vacancies, for a total of 345 support vacancies.

The district held two job fairs on May 30 and 31. Of the 194 attendees, 108 applied for positions, and the district has 40 requests to hire, West said.

Three more job fairs are scheduled:

„ 10 a.m. to 2 p.m. Thursday, June 22, at Mainland High School, 1255 W. International Speedway Blvd., Daytona Beach

„ 10 a.m. to 2 p.m. Tuesday, June 27, at University High School, 1000 West Rhode Island Ave., Orange City

„ 4-7 p.m. on Wednesday, June 28, at Deltona Middle School, 250 Enterprise Road, Deltona

Whatever the district is doing is not working, Colon said — especially in terms of staffing paraprofessionals.

“This is the fire that’s closest to us,” Colon said. “... We have very little control of certification, of the pipeline in education and the colleges closing down, and so the only thing we have that we can support [teachers] with is the support.”

Local businessman Jason Leslie to run for mayor

Jason Leslie — who owns Big Kid Toys, an e-bike retailer in Daytona Beach — filed to run for the seat on Friday, June 9.

JARLEENE ALMENAS

SENIOR EDITOR

Local businessman Jason Leslie is running for Ormond Beach mayor in the 2024 elections.

Leslie — who owns Big Kid Toys, an e-bike retailer in Daytona Beach — filed to run for the seat on Friday, June 9. As someone with almost

20 years of business and entrepreneurship experience, Leslie said, he decided to run for office because he wants to do more for the community, especially as he hears or reads about decisions made by elected officials that have made community members upset.

“I’d like to be on the other end of it, hearing people and hopefully making more positive changes,” Leslie said.

So far, Leslie will be running against Zone 3 City Commissioner Susan Persis, who filed for the mayoral seat in March. Incumbent Mayor Bill Partington will be running for the Florida House in 2024.

Leslie, who grew up on the Jersey Shore, has lived in Ormond Beach for about two and a half years. He first

visited five years ago when his sister moved to the area. He said he enjoyed Ormond’s “small beach community feel.” He said he’s interested in overdevelopment. It has been a hot topic for every election since he’s lived in Ormond, he said. He added that he’d like to see more blighted properties

State gets win in immigration fight

A federal appeals court on June 5 sided with Florida Attorney General Ashley Moody and kept in place rulings that blocked Biden administration immigration policies.

A panel of the 11th U.S. Circuit Court of Appeals rejected a request by the Biden administration for a stay of two rulings by Pensacolabased U.S. District Judge T. Kent Wetherell, who said the policies violated federal law.

The policies, known as “Parole Plus Alternatives to Detention” and “Parole with Conditions,” allowed releasing migrants into the United States amid issues such as overcrowding at detention facilities.

In a challenge filed by Moody’s office, Wetherell in March rejected Parole Plus Alternatives to Detention, also dubbed “Parole+ATD.”

The U.S. Department of Homeland Security subsequently moved forward with the Parole with Conditions policy, but Wetherell in May issued a preliminary injunction to block it.

redeveloped.

“Let’s try to get those places up and running again,” Leslie said. “Maybe focus more on our current infrastructure, which I’ve been on the other end of it as an entrepreneur. ... We could probably still grow as a city by even just focusing on some of those things.” He said he’s looking forward to campaigning with an “old-school approach.” His campaign slogan, he said, is “community first.”

“I want to talk to people in the community and have conversations and find out from them what they feel about the community and things that they are concerned about,” Leslie said.

U.S. Department of Justice attorneys appealed to the Atlanta-based appeals court and asked for a stay of Wetherell’s decisions while the appeal moved forward. In part, the Justice Department argued that a stay was needed to prevent “irreparable harms” that could occur from conditions such as overcrowded detention facilities.

Rejecting the stay request Monday, the appeals court questioned the arguments about harms, saying the Department of Homeland Security’s “claims of irreparable injury ring somewhat hollow on this record, considering the department’s track record of overstating similar threats.”

“Given this record, we take DHS’s latest claims of impending disaster if it is not allowed to use either of the challenged policies with some skepticism,” said the eight-page decision, written by Judge Barbara Lagoa and joined fully by Judge Robert Luck. — JIM SAUNDERS, NEWS SERVICE OF FLORIDA

Starting June 22, 2023 at 10:00 AM

Instructions: Gale Ulmer & Tom Fletcher

THE OBSERVER | THURSDAY, JUNE 15, 2023 5A ObserverLocalNews.com Northbridge Precious Metals Exchange • Professional Full Service Gold, Silver Platinum, Palladium & Rhodium Exchange • Direct Bullion Sales and/or Purchases of Physical Gold, Silver, Platinum Bars, Coins, Ingots, etc. in any form. • Free consultation, No Obligation Appraisals ~ • Stop a loss & replace your IRA’s worst performing asset with real, physical gold or silver, no tax consequences, no penalties. Call or Visit our Website to Learn How • SEC Registered & Bonded Fiduciary Adviser, Gold & Silver Supplier for TaftHartley Union Pension & Retirement Funds • We are an Official Distributor for Many Government Mints • YES! WE BUY SCRAP GOLD • JEWELRY • COIN COLLECTIONS OLD CURRENCY • WATCHES ETC. • NO AMOUNT TOO LARGE OR SMALL~ CHOICE OF INSTANT CASH, CHECK or WIRE TRANSFER 386.446.3200 4867 Palm Coast Pkwy NW, Suite 1 Palm Coast FL 32137 Located west of I-95 within the West Pointe Plaza opposite O’Reilly Auto Parts www.NorthbridgeExchange.com World Gold Council Member BBB Rating A+ WE BUY SCRAP GOLD & JEWELRY Northbridge Precious Metals Exchange Integrity, Honesty & Knowledgeable Service Hard Asset Management ˜ Since 1963 BUY • SELL • TRADE HIGHEST POSSIBLE PRICE PAID For All Precious Metals, Coins, Jewelry, etc. 401390-1 NEW LOCATION Northbridge Exchange 404956-1 Palm Coast Duplicate Bridge Club 4422 US 1 North (Inside African American Cultural Society) www.palmcoastbridge.org Open Pair Games Monday, Tuesday, Thursday: 1:00 PM 499er Pairs Tuesday & Thursday: 1:00 PM For more description on classes, visit www.palmcoastbridge.org Email: palmcoastbridge@gmail.com 386.585.4889 Flagler County Schools does not specifically support or endorse this program. 404166-1
FREE Beginner Bridge Classes
Jason Leslie

COPS CORNER

JUNE 2

BEND AND SNAP

10:01 a.m. — 900 block of North U.S. 1, Ormond Beach Breach of peace. Police arrested a 30-year-old man from Hudson after he allegedly flashed his nude posterior at passing traffic.

A police officer had noticed the man making “several erratic body movements,” according to a police report.

After the officer saw the man flash passing cars, the officer made a U-turn to approach the man, who fled into nearby woods.

Police ordered him to come out, but he did not.

The man was seen about 40 minutes later leaving the woods. He approached someone who was mowing grass along the highway, and police caught him.

The man denied that he had exposed his buttocks to traffic, saying that he had dropped a pen, then bent over to pick it up, according to the report. He said he went into the woods to urinate, not to evade police, and said, “I didn’t see I did anything wrong.”

He was taken to jail.

MAKING A SCENE

6:14 p.m. — 1500 block of West Granada Boulevard, Ormond Beach Disorderly conduct. Police officers were flagged down at a big box store after a 41-yearold Daytona Beach man was seen throwing candy bars, screaming

and trying to spit on customers.

Police soon discovered that the man had an open warrant out of Martin County and detained him.

The store asked to trespass the man, who was taken to jail.

JUNE 9

IN HINDSIGHT

9 a.m. — 5200 block of State Road 100, Palm Coast Burglary, grand theft. A Palm Coast woman was arrested after she allegedly broke into a workplace she was recently fired from.

Sheriff’s Office deputies responding to a burglary at a local eyeglass store found personal items belonging to the suspect strewn about the business, according to the suspect’s arrest report.

An employee also told deputies that the business was missing four outdoor chairs, four couch cushions, a coffee maker, a mini fridge and six glasses.

Deputies went to the suspect’s home and found three of the missing chairs, the coffee maker and the mini fridge sitting in the woman’s open garage, the report said.

When the woman returned home, she

told deputies that she had gone to the business to pick up things she had left behind and things she felt she was owed, the report said.

The suspect was arrested and taken to the county jail.

JUNE 11

HOWDY, NEIGHBOR

8:02 p.m. — 4400 block of County Road 90, Bunnell Battery on person over 65.

A Bunnell man was arrested after he allegedly punched his neighbor in the nose during an argument about yard waste.

The victim, 65, told Sheriff’s Office deputies that he and his neighbor had an ongoing argument about their property lines, according to the suspect’s arrest report. He said the suspect had been dumping yard waste on the victim’s side of their fence, so the victim had placed a lock on the gate.

When the suspect confronted him about the lock and then admitted to dumping the yard waste, the victim told the suspect to “quit taking liberties with my property,” the report said.

The victim told deputies the suspect then yelled back, “Nobody talks to me like that,” and punched the 65-year-old in the nose.

The suspect was charged with battery on a person 65 years of age or older and taken to the county jail.

6A THE OBSERVER | THURSDAY, JUNE 15, 2023 ObserverLocalNews.com GET OFFICIAL NEWS AND UPDATES FROM THE CITY OF ORMOND BEACH! Follow us on Facebook: Facebook.com/CityOfOrmondBeach #OBaware 404991-1 GET OFFICIAL NEWS AND UPDATES FROM THE CITY OF ORMOND BEACH! BEST PRICING ∙ BEST SELECTION BEST TIME TO BUY ∙ BEST GATED 55+ COMMUNITY ACTIVE ADULT LIFESTYLE OFFICIAL HOME BUILDER OF THE PGA TOUR SALES GALLERY NOW OPEN RESORT-STYLE ENCLAVE | NEW SINGLE-FAMILY HOMES Ranked one of the “Best Beach Towns in Florida,” Palm Coast now has a gated active adult community to match! Presented by premier national homebuilder Dream Finders Homes, Reverie at Palm Coast invites you to come discover the amenity-rich, low-maintenance lifestyle of your dreams. LAKEFRONT & PRESERVE HOMES FROM THE $340s THE BEST IN 55 + LIVING Broker Participation is welcomed and encouraged. All prices, floor plans, amenities, o ers, and availability are subject to change without notice. Please see sales associate for more details. Dream Finders Homes LLC. CBC1252734 95 1 Matanzas Woods Pkwy EXIT 289 N PALM COAST ATLANTIC OCEAN Palm Coast Pkwy NE EXIT 293 NOW OPEN US 1, 1 MILE NORTH OF PALM COAST PARKWAY 386-882-9448 ReverieAtPalmCoast.com SCAN TO LEARN MORE 402616-1
THE OBSERVER | THURSDAY, JUNE 15, 2023 7A ObserverLocalNews.com SUBSCRIBE TODAY! 2 Easy Ways to Sign Up Online: ObserverLocalNews.com/subscribe Call: 386-447-9723 FULL ACCESS ObserverLocalNews.com and E-Newspaper App: Your subscription includes unique editorial content found only at ObserverLocalNews.com, Daily Headlines newsletter and access to our E-Newspaper app so you can read an exact replica of our print newspaper on your phone, tablet or laptop. The Observer is full of local news you can’t find anywhere else. It’s always about You. Your Neighbors. Your Neighborhood. Home Delivery Every Thursday The Observer remains FREE and available at retail locations throughout Flagler and Volusia counties. The convenience fee is to have the newspaper delivered to your home each week. Read Print Digitally! Your News. Your NEW Way. News Delivered How You Want It. SUBSCRIBE TO HOME DELIVERY OR FULL ACCESS DIGITAL ONLY $79 PER YEAR 404693-1 Scan to Watch Video EACH

BIZ BUZZ

SURGEON JOINS ADVENTHEALTH DAYTONA BEACH

General surgeon Dr. Harry Aubin has joined AdventHealth Medical Group and will perform procedures at AdventHealth Daytona Beach.

Aubin joins the practice of bariatric and general surgeons Dr. Christian Birkedal, medical director of bariatric services at AdventHealth Daytona Beach, Dr. Gregory Burgoyne and Dr. Christopher Grove.

“Returning to the Daytona Beach area where my medical journey began is truly a homecoming for me,” Aubin said, according to a news release.

Aubin specializes in hernia surgeries, advanced gastrointestinal surgeries, anti-reflux procedures, robotic surgeries and more. He earned his medical degree from the Florida State University College of Medicine.

Aubin previously served as a general surgeon at Brian D. Allgood Army Community Hospital in South Korea and Martin Army Community Hospital in Fort Benning, Georgia. His overseas military activities included general surgical duties with the 811th Hospital

Center at Camp Arifjan in Kuwait and the 135th Forward Surgical Team at Camp Humphreys in South Korea.

COLORECTAL SURGEONS JOIN ADVENTHEALTH

Board-certified colorectal surgeons Drs. Timothy Tolland, Andrew Ritter and Kathleen Williams have joined AdventHealth’s colorectal surgical care team, adding two Volusia County clinics to the network, according to a news release.

The colorectal surgery clinics are located at 1185 Dunlawton Ave., Suite 100, Port Orange; and 550 Memorial Circle, Suite H, Ormond Beach.

Two additional colorectal surgeons are also anticipated to join the clinic in late 2023.

“Joining with AdventHealth allows us to reach more patients in Volusia County while supporting our vision for advancing colorectal surgery care available locally,” Tolland said. “Together, we are ensuring our community remains at the forefront of the most advanced, personalized care available.”

AdventHealth Daytona Beach is home to the da Vinci XI surgery system, a robotic system for minimally invasive

procedures, including some colorectal surgeries.

HALIFAX HEALTH WELCOMES NEW ONCOLOGIST

Oncologist and hematologist

Dr. Cesar De Las Casas has joined the Charles L. and Miki N. Grant Cancer Center for Hope.

De Las Casas has held professorships at MD Anderson Cancer Center and the University of Texas Health Science Center and served as a director or chief of oncology at medical facilities including Audie L. Murphy Memorial Veterans Hospital, according to a news release.

He received his medical degree from Universidad Peruana Cayetano Heredia in Lima, Peru, and completed an internal medicine internship and residency at Baylor College of Medicine in Houston, Texas, while earning a master’s in public health.

“We are excited to have Dr. De Las Casas join our team of dedicated providers,” said Julie Roth, service line administrator for Halifax Health-Cancer Center for Hope. “With his depth of knowledge in the advances in oncology and hematology along with his teaching credentials, he will provide patients in east central Florida outstanding cancer care.”

District will replace Wadsworth Elementary Principal Paul Peacock

“I want to thank Paul Peacock for his service to Flagler Schools, and specifically Wadsworth Elementary School, over the past year.”

BRENT WORONOFF ASSOCIATE EDITOR

Wadsworth Elementary School Principal Paul Peacock, who had been on administrative leave for the past month pending an investigation by an outside law firm, was informed on June 8 that his contract will not be renewed for next year.

Florida Schools Superintendent Cathy Mittelstadt wrote an email to Wadsworth’s teachers and staff on June 8 informing them of the decision.

“I want to thank Paul Peacock for his service to Flagler Schools, and specifically Wadsworth Elementary School, over the past year. At this time, we are moving for-

ward in a different direction for leadership at WES,” she wrote.

Mittelstadt, whose contract expires on June 30, went on to say that Interim Superintendent LaShakia Moore will lead the search for Wadsworth’s next principal.

Peacock had been with the school district for 18 years, including eight years as the principal at Indian Trails Middle School.

He filed a grievance with the district in December based on pay he thought he was owed as a district negotiator. He had been removed as a negotiator and from his position as the district’s chief of operations and reassigned to Wadsworth a year ago.

CRIME REPORT

Man stabbed over bathroom argument

A Palm Coast man was arrested June 6 after allegedly stabbing his roommate with scissors over an argument about their shared bathroom.

The victim had three nonlife-threatening puncture wounds on his right arm, thigh and ankle.

The suspect, 67-year-old Wilbert Vreen, has been charged with aggravated as-

sault with a deadly weapon, according to his arrest report.

Vreen and the victim are roommates at a group home in the first block of Rolling Sands Drive in Palm Coast.

The victim told Flagler County Sheriff’s Office deputies that he and Vreen had been arguing over their bathroom, the report said.

When the victim returned to their bedroom to lay down on his bed, Vreen got up from his and began stabbing the victim with a pair of scissors,

Peacock said the investigation was based on six complaints from teachers and staff that were all made before the start of this past school year. David Delaney, a Gainesville attorney of education law, performed the investigation because Peacock had lodged a complaint against the district’s internal investigator. Peacock said he received a letter of reprimand based on his complaint.

School Board Attorney Kristy Gavin said the complaints against Peacock will not become public record until June 19, 10 days after the investigation was closed.

the report said.

The victim said he used his walker to shield himself until a staff member pulled him from the room.

He told deputies he delayed telling staff what happened because he was afraid of being kicked out of the home, the report said.

The staff member later told deputies that she had been outside the room and heard Vreen say, “I am going to kill you” before she entered the room.

Vreen is being held at the county jail on $25,000 bond.

8A THE OBSERVER | THURSDAY, JUNE 15, 2023 ObserverLocalNews.com 405026-1 Call Today and Get Back On the Water Fast! Repair, Service, Customization, Cleaning, Storage and More! www.waylenbaymarine.com 904-217-3778 845 FL-207, St. Augustine, FL 32084 BOAT SUPER CENTER “Disclaimer: All prices are before: Dealer, Prep, Dealer installed options, Dealer Fee and Taxes. See Dealer for details.” AVAILABLE NOW! 405018-1 404951-1 ATTENTION SENIOR CITIZENS BRUCE A. DAVIS & ASSOCIATES P: (863) 207-0000 | F: (863) 422-0142 | E: BADINC1@TAMPABAY.RR.COM Coventry and Bruce A. Davis & Associates are independent contractors. Nothing herein shall be construed to imply the existence of a partnership or joint venture between them, nor to make either one an agent of the other. Don’t lapse or surrender your life insurance policy before calling Bruce Davis, CLU, in Palm Coast for a quote to sell your policy for cash. We work with the life settlement industry leader, Coventry, to provide quick and legitimate quotes for your policy. To date, Coventry has provided more than $4.5 billion to policyowners. 404943-1
Drs. Andrew Ritter, Timothy Tolland and Kathleen Williams
The decision to not renew his contract was made after an outside law firm investigated complaints.
Courtesy photo

BUSINESS OBSERVER

Development, real estate + business news

Sponsored

Fisher Lifting celebrates one-year anniversary

The local gym is owned by Palm Coast firefighter and Father Lopez head girls weightlifting coach Leroy Fisher.

ALEXIS MILLER CONTRIBUTING WRITER

Leroy Fisher is a firefighter, coach, and — for over a year now — an Ormond Beach small business owner.

Fisher, a Palm Coast Fire Department firefighter for 14 years, celebrated the first anniversary of his gym, Fisher Lifting, on Saturday, June 3.

Fisher has been training in weightlifting for over 10 years.

In 2015, he started a girls weightlifting team at Father Lopez High School.

Many of the athletes he’s trained on the Father Lopez girls weightlifting team have received state metals and championships, and the team has a state finalist as well as a district and regional champion or runner-up almost every year. The team is going into its ninth season this upcoming school year.

It was during his coach -

ing that Fisher met Connie Garzon, who works for the University of Central Florida Business Incubator Program in Volusia County.

Fisher had trained her daughter, Sophia Bernal, at Father Lopez from her sophomore to her senior year.

Fisher and Garzon began to talk during practices and competitions about the possibility of Fisher opening a gym one day.

“I saw Leroy, and I’m like, ‘Oh my gosh, he has so much potential,’ and what he has done for my daughter is amazing,” Garzon said.

The UCF Business Incubator Program has been around for 23 years with the goal of helping local entrepreneurs start companies that provide jobs the county needs, Garzon said.

Fisher started planning for his gym during the COVID-19 pandemic, when he was coaching remotely and working on program design online.

When the pandemic’s impacts faded, he decided it was the perfect time to open the gym.

He took the required UCF incubation course, and, once he finished, opened Fisher Lifting at 100 Business Center Drive, Suite 5, in Ormond Beach on June 3, 2022.

“I put in my welcome message, ‘Welcome to the Fisher lifting family,’ because I know that it’s a gym, but you’re a part of my family, and I am going to check in on you,”

Fisher said. “I care about my members and staff.”

Fisher specializes in Olympic lifting, but also works as a personal trainer and creates how-to videos for an online program library that is updated every week.

The gym has 24-hour access for members, along with a free 30-minute mental health session every month.

Fisher’s motto?

“I am going to make you strong and mobile, no matter your age,” Fisher said.

The purpose of the anniversary event, Fisher said, was not only to draw attention to his business, but to also promote other small businesses that he works with. These include the YES program, Be Healthy Chiropractic Wellness Center, Monkey Bubbles soap and Aloha Hair and Color Studio.

“I’m happy with where we are at,” Fisher said. “I’ve collaborated with a lot of local businesses — again, that family feel. I’ve built new members that are staying and sustaining. The biggest thing for any new business is having reoccurring members or customers.”

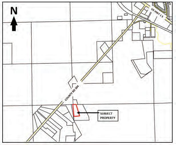
304 IN THE CITY OF BUNNELL LIMITS FROM FLAGLER COUNTY “AC, AGRICULTURE” TO CITY OF BUNNELL “AG&S, AGRICULTURE AND SILVICULTURE DISTRICT”; PROVIDING FOR THE TAKING OF IMPLEMENTING ADMINISTRATIVE ACTIONS; PROVIDING FOR THE ADOPTION OF MAPS BY REFERENCE; REPEALING ALL CONFLICTING ORDINANCES; PROVIDING FOR SEVERABILITY; PROVIDING FOR NON-CODIFICATION AND PROVIDING FOR AN EFFECTIVE DATE. ALL INTERESTED PERSONS ARE INVITED TO PARTICIPATE as may be legally permitted on the day of the meeting. Instructions on how to participate by electronic or other means, if legally permitted, would be found on the City of Bunnell’s website at www. bunnellcity.us on the homepage. The public is advised to check the City’s website for up-todate information on any changes to the manner in which the meeting will be held and the location. The failure of a person to appear during said hearing and comment on or object to the proposed Ordinance, either in person or in writing, might preclude the ability of such person to contest the Ordinance at a later date. A copy of all pertinent information this ordinance can be obtained at the office of the Bunnell Customer Service Office, 604 E. Moody Blvd. Unit 6, Bunnell, FL 32110. Persons with disabilities needing assistance to attend this proceeding should contact the Bunnell City Clerk at (386) 437-7500 x 5 at least 48-business hours prior to the meeting.

NOTICE: If a person decides to appeal any decision made by the City Commission on this matter a recording of the proceeding may be needed and for such purposes the person may need to ensure that a verbatim record is made which includes the testimony and evidence upon which the appeal is based. (Section 286.0105, Florida Statutes)

MILES ON COUNTY ROAD 304 FROM US HIGHWAY 1 AND APPROXIMATELY 0.15 MILES DIRECTLY EAST FROM COUNTY ROAD 304 IN THE CITY OF BUNNELL LIMITS FROM “CONSERVATION-1 (CON1)” TO “AGRICULTURE & SILVICULTURE (AG&S)”; PROVIDING FOR LEGISLATIVE FINDINGS AND INTENT; PROVIDING FOR ASSIGNMENT OF THE LAND USE DESIGNATION FOR THE PROPERTY; PROVIDING FOR SERVERABILITY;

THE OBSERVER | THURSDAY, JUNE 15, 2023 9A ObserverLocalNews.com Explore Play Conn ect with Parks & Recreation For more information or to register, visit parksandrec.fun Check out our full line-up of activities & programs! Three to See Food Truck Tuesday Food Truck Tuesday Tuesday, June 20 Tuesday, June 20 World’s Largest Swim Lesson World’s Largest Swim Lesson Thursday, June 22 Thursday, June 22 Book Club Social Corner July’s Topic: Beach Reads Book Club Social Corner July’s Topic: Beach Reads Friday, July 7 Friday, July 7 The City of Palm Coast brings the fun! Flagler County, Palm Coast, Flagler Beach, Bunnell, Beverly Beach, & Marineland invite all to attend the United Flagler 4th Community Celebration on Tues., July 4th. Visit UnitedFlagler4th.com for more info. Featured 404947-1 FIRST INSERTION NOTICE OF PUBLIC MEETING CITY OF BUNNELL, FLORIDA NOTICE IS HEREBY GIVEN THAT THE CITY OF BUNNELL, FLORIDA will hold a Public Hearing as authorized by law at 7:00 P.M. on the 26th day of June 2023, for the purpose of Second and Final Reading of Ordinance 2023-12, in the Chambers Meeting Room of the Flagler County Government Services Building (GSB) located at 1769 East Moody Blvd, Bunnell, Florida 32110. ORDINANCE 2023-12 AN ORDINANCE OF THE CITY OF BUNNELL, FLORIDA PROVIDING FOR THE REZONING OF CERTAIN REAL PROPERTY CONTAINING 5.0 ACRES, OWNED BY STEPHEN STRICKLAND, BEARING PARCEL ID: 01-13-30-0000-01010-0020 LOCATED APPROXIMATELY 1.59 MILES ON COUNTY ROAD 304 FROM US HIGHWAY 1 AND APPROXIMATELY 0.15 MILES DIRECTLY EAST FROM COUNTY ROAD
June 15, 2023 23-00099F 403801-1
Joann Sorensen and Kristy Presswood, with the YES Foundation Connie Garzon, Sofia Bernal and Leroy Fisher, owner of Fisher Lifting
FIRST INSERTION NOTICE OF PUBLIC MEETING CITY OF BUNNELL, FLORIDA NOTICE IS HEREBY GIVEN THAT THE CITY OF BUNNELL, FLORIDA will hold a Public Hearing as authorized by law at 7:00 P.M. on the 26th day of June 2023, for the purpose of Second and Final Reading of Ordinance 2023-11, in the Chambers Meeting Room of the Flagler County Government Services Building (GSB) located at 1769 East Moody Blvd, Bunnell, Florida 32110. ORDINANCE 2023-11 AN ORDINANCE OF THE CITY OF BUNNELL, FLORIDA AMENDING THE CITY OF BUNNELL COMPREHENSIVE PLAN, AS PREVIOUSLY AMENDED; PROVIDING FOR AMENDMENT TO THE FUTURE LAND USE MAP IN THE FUTURE LAND USE ELEMENT OF THE CITY OF BUNNELL COMPREHENSIVE PLAN RELATIVE TO CERTAIN REAL PROPERTY CONTAINING 5.0 ACRES, OWNED BY STEPHEN STRICKLAND, BEARING PARCEL ID: 01-13-30-0000-01010-0020 LOCATED APPROXIMATELY 1.59
PROVIDING FOR RATIFICATION OF PRIOR ACTS OF THE CITY; PROVIDING FOR CONFLICTS; PROVIDING FOR CODIFICATION AND DIRECTIONS TO THE CODE CODIFIER AND PROVIDING FOR AN EFFECTIVE DATE. ALL INTERESTED PERSONS ARE INVITED TO PARTICIPATE as may be legally permitted on the day of the meeting. Instructions on how to participate by electronic or other means, if legally permitted, would be found on the City of Bunnell’s website at www. bunnellcity.us on the homepage. The public is advised to check the City’s website for up-todate information on any changes to the manner in which the meeting will be held and the location. The failure of a person to appear during said hearing and comment on or object to the proposed Ordinance, either in person or in writing, might preclude the ability of such person to contest the Ordinance at a later date. A copy of all pertinent information this ordinance can be obtained at the office of the Bunnell Customer Service Office, 604 E. Moody Blvd. Unit 6, Bunnell, FL 32110. Persons with disabilities needing assistance to attend this proceeding should contact the Bunnell City Clerk at (386) 437-7500 x 5 at least 48-business hours prior to the meeting. NOTICE: If a person decides to appeal any decision made by the City Commission on this matter a recording of the proceeding may be needed and for such purposes the person may need to ensure that a verbatim record is made which includes the testimony and evidence upon which the appeal is based. (Section 286.0105, Florida Statutes) June 15, 2023 23-00098F 403800-1
Photo by Alexis Miller
by

Tomoka Elementary principals bid farewell to school campus

The district aims to open the new Tomoka Elementary campus by the start of the 2024 school year.

SUZANNE MCCARTHY CONTRIBUTING WRITER

Thirty-two years of principal leadership came together on Wednesday, June 7, for a final visit to Tomoka Elementary School.

Julie Roseboom, Tomoka’s principal since 2018, was joined by former principals Susan Tuten, Julie Johnson and Volusia County School Board member Carl Persis to reminisce and bid farewell to the school before its demolition.

Johnson, principal from 20042015, reflected on her time at the school.

“Tomoka is so special,” she said. “The community, the families, and the staff make it such an extraordi-

nary school. The family atmosphere is what strikes you first and foremost when you come here.”

The four colleagues have known each other professionally and personally for years, moving through their careers as principals together. Roseboom and Tuten, who was principal from 2015-2018, attended middle school together. Roseboom’s mother was Johnson’s school secretary in the 1990s, and Carl Persis was principal when Roseboom’s children attended elementary school.

“We’ve gone to all of our principals’ meetings together for years,” Roseboom said.

Johnson added that Persis has “always been a mentor to all principals.”

Persis was Tomoka’s principal for 13 years, from 1991 to 2004.

“Some of the best years of my life were right here at Tomoka Elementary School,” he said.

Regularly — and as recently as the previous day, Persis said — he is greeted around town by former students.

“It’s the best,” he said.

The district is hoping to improve traffic delays on Granada Boulevard caused by the drop-off and pick-up lines at the school. Persis said people applauded during the City Commission meeting on June 6 when Mayor Bill Partington announced that, as part of the redesign, the district would improve the parent drop-off area.

The original Tomoka Elementary, built in 1968, won state architectural awards at the time.

The new school’s theme, based on

DEMOLITION UNDERWAY

Demolition on the former Tomoka Elementary campus at 999 Old Tomoka Road began on Wednesday, June 7, and construction on the $49.3 million project will begin soon.

The school opened in October 1968 and had a student population of 240 students, according to

Tomoka State Park, will use green vertical lines to represent trees and blue horizontal lines to represent the river. The district aims to open the new Tomoka Elementary campus by the start of the 2024 school year.

a statement from Volusia County Schools. As of June 2, the school’s enrollment totaled 734. The students and faculty of Tomoka Elementary will use the former Osceola Elementary campus at 100 Osceola Ave. for the 20232024 school year while the new Tomoka campus is constructed. The district states that construction is not anticipated to impact the public.

10A THE OBSERVER | THURSDAY, JUNE 15, 2023 ObserverLocalNews.com WHERE WILL YOU TAKE US THIS SUMMER? Take a picture with your favorite Observer Newspaper and submit your photo to win a $15 gift card to Keke’s Breakfast Cafe in Ormond Beach! Winners selected 6/13, 7/11, 8/15 & 9/27 Scan Me BROUGHT TO YOU BY: 404269-1 OBSERVERLOCALNEWS.COM/CONTESTS 404985-1 What can FREE VPK do for my 4-year-old preschooler? Scan Me Visit The NEW We’re more than tires! Complete auto repair! Take care of what you drive. Same people. New location. Old Barrow Auto Repair 102 N Main St Bunnell Visit The NEW XNSP20634 We’re more than tires! Complete auto repair! CALL TODAY (386) 437-3677 404979-1
Surrounded by boxes, Tomoka Elementary’s totem will continue to greet students in their new school. Photos by Suzanne McCarthy Julie Roseboom, Julie Johnson, Susan Tuten and Carl Persis reminisce during their final visit to Tomoka Elementary.
THE OBSERVER | THURSDAY, JUNE 15, 2023 11A ObserverLocalNews.com Rated Elite Hearing Centers of America Rated Elite Hearing Centers of America OPEN NOW: OUR PROFESSIONAL STAFF OF DOCTORS OF AUDIOLOGY & LICENSED HEARING AID SPECIALISTS SOUTH CAROLINA LICENSE NUMBERS: HTP-1029, HTP-1024, HTP-1031, HTP-1023, HAS-0573, HAS-0642, HAS-0637, HAS- 0638, HAS-0633 GEORGIA LICENSE NUMBERS: HADS000995, HADS000996, HADS001001, HADS001003 OTHER DIGITAL SPECIALS LOWEST COST DIGITAL HEARING AIDS ANYWHERE 100% Digital Open-Fit BTE (Behind-the-Ear) Fits up to 40db loss WAS $995 NOW $395 395 100% Micro CIC (Completely-in-Canal) Fits up to 40db loss WAS $1995 NOW $595 100% Digital CIC (Completely-in-Canal) 495 each each each each LOWEST PRICES WE GUARANTEE IT!! Our professional staff of DOCTORS OF AUDIOLOGY and LICENSED HEARING INSTRUMENT SPECIALISTS LOWEST PRICES FOR ALL MANUFACTURER’S 4�� Limit 2 pks. per person. /23 FREE FREE FREE FREE Digital Computer Analysis of Your Hearing Aid’s Performance While It’s in Your Ear Cleaning & Maintenance of Your Hearing Aids with Our State-of-the-Art Hearing Aid Diagnostic Equipment Computerized Adjustment of Your Hearing Aid (Any Make or Model) To Fit Your Present Loss Hearing Evaluation... Receive an Up-to-Date Test & a Copy for Your Medical Records �EARIN� AI� ANA��SIS Analyze your current hearing aid performance in real life conditions with state-of-the-art diagnostic equipment (Reg. Value $89) Expires2/10/23. RISK��REE �� �A� TRIA� Try our best hearing aids for 30 daysno cost, no obligation. Hearing aids are customized for your hearing loss at no charge. Expires2/10/23. SPECIAL �REE �REE ZINC AIR BATTERIES (4 PK) Rated Elite Hearing Centers of America Elite Hearing Centers of America OUR PROFESSIONAL STAFF OF DOCTORS OF AUDIOLOGY & LICENSED HEARING AID SPECIALISTS OVER 50 LOCATIONS NATIONWIDE! SOUTH CAROLINA LICENSE NUMBERS: HTP-1029, HTP-1024, HTP-1031, HTP-1023, HAS-0573, HAS-0642, HAS-0637, HAS- 0638, HAS-0633 GEORGIA LICENSE NUMBERS: HADS000995, HADS000996, HADS001001, HADS001003 OTHER DIGITAL SPECIALS 100% Digital (Behind-the-Ear) Fits up to 40db loss WAS NOW $395 395 100% Micro CIC Fits up to 40db loss WAS NOW $595 100% Digital CIC (Completely-in-Canal) 495 each each each each Our professional staff of AUDIOLOGY LICENSED HEARING INSTRUMENT SPECIALISTS LOWEST PRICES FOR ALL MANUFACTURER’S Limit 2 pks. per person. /2 FREE FREE FREE Digital Computer Analysis of Your Hearing Aid’s Performance While It’s in Your Ear Cleaning & Maintenance of Your Hearing Aids with Our State-of-the-Art Hearing Aid Diagnostic Equipment Receive an Up-to-Date Test & a Copy for Your Medical Records ANA��SIS Analyze your current hearing aid performance in real life conditions with state-of-the-art diagnostic equipment (Reg. Value $89) Expires2/10/23. TRIA� Try our best hearing aids for 30 dayscustomized for your hearing loss at no charge. Expires2/10/23. SPECIAL �REE �REE (4 PK) DB-AT230602_122431 OTHER DIGITAL SPECIALS LOWEST COST DIGITAL HEARING AIDS ANYWHERE 100% Digital ITE (In-the-Ear) Fits up to 40db loss WAS $795 NOW $395 each 100% Digital CIC (Completely-in-Canal) Fits up to 40db loss WAS $995 NOW $495 each 100% Digital Open-Fit BTE (Behind-the-Ear) Fits up to 40db loss WAS $995 NOW $395 each 100% Micro CIC (Completely-in-Canal) Fits up to 40db loss WAS $1995 NOW $595 each 405049-1 PALM COAST 386-387-5043 2 Pine Lakes Parkway N. Ste 4 (Next to First Baptist Church on Palm Coast Pkwy) JACKSONVILLE BEACH 904-867-7383 1017 3rd St South (Next to Starbucks) ORMOND BEACH 386-888-8721 1474 W Granada Blvd #420 (In Publix Plaza corner of Williamson and Granada) TAVARES 352-744-3981 500 W Burleigh Blvd (In betweeb CVS and Bank of America) NEW SMYRNA BEACH 386-732-4698 111 N Orange St (1 Block Noth of Canal St, 1 Block East of US-1) PALM BAY 321-462-6294 1150 Malabar Rd SE, Ste 112 (Publix Super Market at Shoppes of Palm Bay - Next to UPS Store) PORT ORANGE 386-888-8722 1665 Dunlawton Ave #107 (Next To Monterey Grill) ORANGE CITY / DELAND 386-951-0486 921 Town Center Dr, Ste 300 (Left of Clock Tower) Nosotros Hablamos Espanol!

ORMOND BEACH

MY VIEW

Partington outlines ideas to address traffic concerns

BILL PARTINGTON ORMOND BEACH MAYOR

As your mayor, it is both my privilege and responsibility to ensure that our beloved city of Ormond Beach continues to thrive and flourish for generations to come.

The elephant in the room is the fact that Granada Boulevard, because of how the city has developed over the last 100 years, is the only east-west corridor. This creates issues that must be addressed.

It is with this in mind that I have unveiled some visionary ideas for addressing these pressing traf-

LETTERS

Cultural grants make an impact

Dear Editor: Recently, Volusia County Council Chair Jeff Brower proposed to eliminate arts and cultural grant funding to try to reduce rising expenses in the county budget. An outcry ensued from many citizens, including from me. I emailed all six

fic concerns that have become a significant challenge along our community’s busiest road.

We all know that traffic congestion can cause frustration, wasted time, and a negative impact on our overall quality of life. It is an issue that affects not only our daily commutes, but also our local businesses, visitors, and the environment.

Recognizing the urgency and importance of finding a sustainable solution, I have devoted considerable time and effort to develop a comprehensive discussion of possible solutions that could revolutionize our approach to transportation.

First and foremost, my vision revolves around investing in smarter and more efficient infrastructure. I am committed to working closely with transportation experts, residents, business owners and government officials to identify and implement innovative traffic management technologies.

By leveraging cutting-edge tools such as intelligent traffic systems, adaptive signal control, and realtime data analysis, we are already optimizing the flow of traffic, reducing congestion, and improve travel times along our busiest road. But more can be done.

My vision extends beyond infrastructure and transportation

council members urging them to continue supporting the 34-year-old community cultural grant program, which funds more than 32 local arts, cultural and historical nonprofits. I earnestly encouraged them to continue to support grant funding for the arts, humanities, preservation and education of history in our Volusia paradise. We are so fortunate indeed to enjoy such a magnificent quality of life in our county so enhanced by our manifold cultural opportunities and events. You know what so many of them are. Culture really refines our ability to appreciate the joy of the arts, humanities and history, thereby adding that intrinsic

Make yourself

at home

systems alone. I am acutely aware of the importance of community engagement and collaboration. It will take a collective effort involving the entire Halifax area. This collective effort will enable us to gather diverse perspectives, identify specific pain points and develop solutions tailored to our unique needs. I firmly believe that together, we can achieve meaningful change and forge a brighter future for Ormond Beach and the greater Halifax area.

Just some of the items we will discuss/debate/consider moving forward to improve the conditions on Granada/S.R. 40 and overall east/ west traffic flow in the Halifax area:

1. A Diverging Diamond Interchange at S.R. 40 and I-95, similar to that proposed for U.S. 1 and I-95

2. At least one extra lane both ways on S.R. 40 west of I-95 all the way to Airport Road.

3. A Hand Avenue overpass/ extension.

4. Create frontage road on S.R. 40 to LPGA on the west side of I-95.

5. Extend Tymber Creek Road from LPGA to Granada Boulevard.

6. Additional east/west connectors at Fleming Avenue and Calle Grande Street; Williamson Boulevard to U.S. 1.

7. Commercial property available

dimension to enhance the quality of our lives. Furthermore, you may recall the adage, “Man shall not live by bread alone.” People need more than material things to truly live. They need not just food but also poetry, art and music to live happily.

And, what a boon to our economy! From an economic perspective, you cannot overlook the very positive 2.6-times “Return on Investment” for just $2 per household per year, as documented by the impacted nonprofits. Why, this is a pittance, especially considering some people spend $7 for a latte without a second thought. In fact, since this funding is such a boon to

west of I-95 (i.e. Publix/bank/fast food/dry cleaners/salon.)

8. Accelerate/decelerate lanes placed at strategic hot spots to maximize flow.

9. I-95 interchange access at Airport Road overpass.

10. A social media campaign on “know when to go” that will encourage retirees to use off-peak times for driving needs.

11. The improvements coming with the new Tomoka Elementary will provide quite a bit of relief to Granada before and after school times, as the capacity of the school’s drop-off and pick-up traffic circle will be greatly expanded.

12. A bridge over LPGA to beachside A1A to increase east/west mobility and keep trips south of Ormond Beach.

In conclusion, addressing the traffic concerns along Granada is a complex and multifaceted challenge. Nevertheless, I am confident that with your support and our shared commitment to progress, we can overcome these obstacles and transform our transportation landscape.

As mayor, I am steadfast in my dedication to making Ormond Beach a model city known for its efficient and sustainable transportation infrastructure.

our economy, the council should consider increasing the level of cultural grant funding.

I told the council members that the next time they, their family or friends attend a cultural event in our county, they should congratulate themselves on enhancing the joy of living in our paradise. Only Councilman Robins replied, and positively so that same day.

The council then met on June 6. Almost 40 county residents with only one exception spoke forcefully in support of this grant program. Interestingly, every councilman voted unanimously to continue funding it.

This is an excellent example

Summer doldrums: the battle with boredom

My oldest three children are savvy enough not to verbalize their boredom.

with just Mom and/or Dad, before any of his four older siblings arrived home. Usually, we are working, so we’re not the best playmates.

One day he tapped me on the hip and said, “Do you want to play a game? I’m bored.”

I was in the middle of something, so I told him that his sister, Kennedy, would be home in about 10 minutes.

“I’m more bored than that,” he said.

to think that his motivation is to be helpful and because he is learning that cleanliness is the first step on the path to productivity, but I know better. For him, cleanliness is the first step on the path to video games. We limit his video game time to about 45 minutes, and after that, he goes back to being bored. Books? Toys? Games? Boring, boring, boring.

“If we are to build a better world, we must remember that the guiding principle is this — a policy of freedom for the individual is the only truly progressive policy.”

Publisher John Walsh, jwalsh@observerlocalnews.com

Managing Editor Jonathan Simmons, jonathan@observerlocalnews.com

Senior Editor Jarleene Almenas, jarleene@observerlocalnews.com

Associate Editor Brent Woronoff, brent@observerlocalnews.com

Staff Writer Sierra Williams, sierra@observerlocalnews.com

Design Editor Hailey McMillan, hailey@observerlocalnews.com

Director of Engagement Kaitlyn Stier, kstier@observerlocalnews.com

Senior Media Specialist Susan Moore, susan@observerlocalnews.com

Advertising Coordinator Jessica Boone, jessica@observerlocalnews.com

Operations Manager Bonnie Hamilton, bonnie@observerlocalnews.com Circulation Coordinator, Draven Owens, dowens@observerlocalnews.com

SUBSCRIBE

The Palm Coast & Ormond Beach Observers are published every Thursday. To subscribe for driveway delivery, visit www.observerlocalnews.com/subscribe, call 386-447-9723, or email subscribe@ observerlocalnews.com.

TO ADVERTISE

Call the office at 386-447-9723.

Locally Owned / Publishers of The Palm Coast Observer Palm Coast Observer, LLC P.O. Box 353850 Palm Coast, 32135

of our citizenry arising to voice their opinions quickly when important issues are at stake. After all, the councilmen are there to serve our best interests and not only the views they have. We should thank them for their support, and continue to be vigilant in protecting our quality of life.

JERRY A. VALCIK Ormond Beach

“Dad, where are you?” he asked.

“In the bathroom,” I responded. “But, but, but — you’re it!”

BRIAN MCMILLAN CONTRIBUTING WRITER

My 5-year-old son, Luke, was in VPK during the school year, so he would have a few hours at home

YOUR

TOWN

STUDENTS WRITE THANK-YOU NOTES FOR NEIGHBOR

Ormond Beach resident Ron Dick lives next to Tomoka Elementary,

Now, imagine the horror of the summer boredom multiplier effect.

Every morning, Luke gets up and races around the house, working on his to-do list, which includes things like cleaning his room and straightening up an area of the house. I’d like

and as school came to an end, he discovered many thank-you notes attached to his fence.

Dick’s yard backs up to the school’s playground, he said in an email to the Observer

As a result, when the students play ball games near his fence, sometimes those balls end up in his yard.

“I have been given the honor of tossing back those balls that end up

And to make matters worse, now that it’s summer, he has an extra five or six hours to kill every day. He’s not the only one. But my oldest three children are savvy enough not to verbalize their boredom. Their teenage survival instincts have taught them to drift silently from room to room, couch

over the fence and in our yard,” he said.

To show their appreciation, the students — and teacher Autumn Deemer — wrote thank you notes for him, attaching them to his side of the fence. He wished to thank them for their kind act.

“Myself and Dixie, our dog, will miss them all until they return to their new school, as the school is being rebuilt,” Dick said.

to couch, avoiding eye contact with either parent. Because there’s only one thing worse than being bored, and that’s being conscripted.

One day recently, I played tag with Luke, darting around furniture, staying just ahead of him. He started trash talking, reminding me that my real-life agility was as poor as my performance in Mario Kart.

“You’re so slow, Dad!” he said.

I should have been mature enough to ignore the insults, but I felt that I had to defend my honor.

“Why can’t you catch me, then, huh?” I asked.

“I can!” he said, picking up the pace.

The next time he tagged me, I left the room. Finally, he wandered into

When we resumed the game, I was hoping that his older siblings would soon join in and take over, but there they sat, like the children in “The Cat in the Hat,” apparently waiting for a more entertaining reason to interrupt their couch routines.

“I need a break,” Luke said finally, and he collapsed on an arm chair, exhausted.

Running Luke to the point of exhaustion isn’t a bad outcome, I decided.

Motivating everyone else will be another challenge, but I have an idea that should work: “Time for a family meeting on goal-setting, everybody! Make goals, or your goals will be set for you.”

Courtesy photo Ron Dick, pictured with his dog Dixie, said he will miss the kids while their school is being rebuilt.

12A THE OBSERVER | THURSDAY, JUNE 15, 2023 ObserverLocalNews.com The public is invited to our Annual Father’s Day Worship Experience Contemporary Band member and pilot, Will Patin will be our speaker delivering the Father’s Day message at both our 8 a.m. & 9:30 a.m. Worship Experiences. Dr. Kevin M. James, Sr., Pastor Palm Coast United Methodist Church 5200 Belle Terre Pkwy | Palm Coast, FL 32137 www.palmcoastchurch.org 405147-1 399631-1
Friedrich Hayek “Road to Serfdom,” 1944 Observer

NEIGHBORS

Art of whimsy

Ormond Memorial Art Museum and Gardens hosted an opening reception for its summer exhibit, “Imagination: Larger Than Life,” on Thursday, June 8. The exhibition features the whimsical art of storytelling according to several artists: Jeffery Kennedy, Mary Wentzel and the collective talent of MicheLee Puppets. Jeffery Kennedy, a local Ormond Beach artist, creates mixed-media sculptures featuring animals and interactive elements. Mary Wentzel’s awardwinning watercolor and ink illustrations have been exhibited around the state. MicheLee Puppets is a collaborative team that creates puppets to educate and empower through their productions. Nic Parks and Denise Lucich, of MicheLee Puppets, met with members of the public.

Over 200 visitors attended the opening reception, which was preceded by an artists’ talk. Guests enjoyed light refreshments and live Polynesian-style music from Otila “Hula” Massaro and Wes Balewski. The exhibition will be on display through Aug. 13.

–SUZANNE MCCARTHY

JUNE 15, 2023 YOUR
Above: Ormond Memorial Museum and Gardens Board Member Carol Farber and exhibiting artist Jeffrey Kennedy show Kennedy’s mixed media sculpture, “Curiosity.” At left: Jeffrey Kennedy’s “Cheese Bugger.” Several artists on the MicheLee Puppet Team work to create puppets like these. Otila “Hula” Massaro and Wes Balewski entertain reception guests. Exhibiting artist Denise Lucich, from the MicheLee Puppets Production Team, shows her puppet “Owen.” Exhibiting artist Mary Wentzel with her watercolor and ink artwork, “D is for Donkey” (top) and “E is for Elephant” (bottom) Exhibiting artist Nic Parks shows off his Owl Puppet and Rose Ringed Parakeet Mask. Bonnie Gibert, of Ormond Beach, tries out artist Jeffery Kennedy’s interactive art fortune teller during the opening reception of “Imagination: Larger Than Life.” Photos by Suzanne McCarthy

LOCAL EVENTS

THURSDAY, JUNE 15

ORMOND BEACH AREA

DEMOCRATIC CLUB

MEETING

When: 7 p.m.

Where: 56 N. Halifax Drive, Ormond Beach

Details: The June meeting of the Ormond Beach Area Democratic Club will feature social visiting beginning at 6:30 p.m. before the meeting starts. The focus of the meeting will be to promote awareness of local, state and national issues, as well as responsive ways to put American democratic values into action. Like-minded nonmembers are welcome to attend as guests. Visit ormondbeachdems.org for more information.

FRIDAY, JUNE 16

SCHOOL’S OUT FOR ART:

FUN FATHER’S DAY CARDS

When: 11 a.m. to 12:30 p.m.

Where: Ormond Memorial Art Museum & Gardens, 78 E. Granada Blvd., Ormond Beach

Details: Enjoy a guided tour of OMAM’s summer art exhibit with Diamond Johnson, curator of youth and outreach programs, and then create an “origami” shirt-and-tie Father’s Day card. Open to ages 4 to 12. All supplies provided. Costs $12 for museum members; $15 for future members. Visit ormondartmuseum.org.

FREE MOVIE NIGHT: ‘THE

DRIVE TO SING’

When: 5:30 p.m.

Where: Ormond Beach Presbyterian Church, 105 Amsden Road, Ormond Beach

Details: The Daytona Beach Choral Society invites the community to a free showing of “The Drive to Sing,” a documentary about the importance of making music together through the lens of pandemic “car choirs,” featuring choirs in Massachu-

setts, Virginia, New Jersey, Wisconsin and Alberta. RSVPs to info@daytonabeachchoralsociety.com are encouraged. Complimentary light refreshments will be served. Movie begins at 6 p.m.

SATURDAY, JUNE 17

FATHER’S DAY PLANT SALE

When: 9 a.m. to noon

Where: Cattleman’s Hall at Flagler County Fairgrounds, 150 Sawgrass Road, Bunnell

Details: Flagler County

Master Gardener volunteers are holding a plant sale, which includes a limited number of sugar belle mandarin trees. This new variety of citrus tree, developed by the University of Florida, is resistant to citrus greening. For more information, email mgardener@ flaglercounty.gov.

Dance is open to ages 7-12. Tickets cost $20 and must be purchased in advance. Call 386-676-3216.

THE RAT PACK AND MARILYN MONROE

When: 7 p.m.

Where: Flagler Auditorium, 5500 State Road 100, Palm Coast Details: Kool 100.7 and the Flagler Auditorium are bringing the Rat Pack with a live six-piece Vegas-style band, along with Marilyn Monroe. This show supports arts education in Flagler Schools. Tickets start at $50. Visit flaglerauditorium.org.

TUESDAY, JUNE 20

FOOD TRUCK TUESDAY

When: 5-8 p.m.

Where: Central Park at Town Center, 975 Central Ave., Palm Coast Details: Enjoy a variety of foods from local food trucks as part of Food Truck Tuesday in Palm Coast, presented in partnership with the Palm Coast Observer

THURSDAY, JUNE 22

VOLUSIA-FLAGLER SIERRA CLUB MEETING

When: 12-5 p.m.

Where: African American Cultural Society and Museum, 4422 U.S. 1 North, Palm Coast

Details: Celebrate Juneteenth with the African American Cultural Society and Museum at this event featuring music, entertainment, games, vendors, food and more. Call 386-447-7030.

A NIGHT TO REMEMBER

When: 5-7 p.m.

Where: The Casements, 25 Riverside Drive, Ormond Beach Details: The Casements and The Casements Guild are presenting this Roaring ’20s-themed father-daughter dinner and dance. All fathers, stepfathers, grandfathers, uncles and guardians are invited to dance the night away with the little ladies in their lives.

When: 6-7:30 p.m.

Where: Natural Concepts Revisited, 142 W. International Speedway Blvd., Daytona Beach Details: Join the Volusia-Flagler Sierra Club for a presentation on rain barrels, by Chris Rentz, “The Barrel Man” from DeLand. The meeting will also include updates on current group efforts and activities. Free and open to the public.

ONGOING INSPIRATIONS AND REFLECTIONS

When: June 4 through July 15

Where: Expressions Art Gallery, 2298 Colbert Lane, Palm Coast Details: See this exhibition featuring artists Suzanne Barrett and Louise Kennedy.

ObserverLocalNews.com 2B THE OBSERVER | THURSDAY, JUNE 15, 2023 Ormond Beach Chamber of Commerce 165 W. Granada Blvd., Ormond Beach, FL 32174 (386) 677-3454 386231-1 The Ormond Beach Chamber is your trusted partner, by your side working for a better tomorrow! Advocating for Businesses Developing Leaders Promoting Economic Growth Contact Dave Walls for more details dwalls@ormondchamber.com 386-256-2527 Invest in your local Ormond Beach Chamber of Commerce Invest in your local Ormond Beach Chamber of Commerce BECOME A MEMBER TODAY! 392460-1 405009-1 Your local orthodontist since 1999 We are your specialist for braces and Invisalign Treating all aspects of orthodontics for children, teens and adults Call (386) 445-7671 for a FREE consultation and exam Dr. Keith Blankenship | Dr. Paul Johnson 25 Pine Cone Dr, Suite 1 | Palm Coast, FL 32164 | palmcoastsmiles.com Stifel, Nicolaus & Company, Incorporated | Member SIPC & NYSE | www.stifel.com Wishing you and your family all the very best! The Remey Wealth Advisory Group David S. Remey, CFP®, CIMA®, CPA Senior Vice President/Investments (386) 947-6000 | (800) 758-8755 www.remeywealthadvisors.com 1530 Cornerstone Blvd., Suite 110 Daytona Beach, Florida 32117 405022-1 405152-1 On-Site Interviews | Explore Benefits | Meet Our Leaders With some of the world’s brightest minds, AdventHealth is reimagining care. And we’d love for you to be a part of our team. You’re invited to a special hiring event to learn more about how we make our communities feel whole. Join us and learn about: • Paid Days Off and Health Care on Day One • Student Loan Repayment • Debt-Free Education • Same-Day Offers • Sign-On Bonuses THE STAGE IS SET FOR AN INCREDIBLE CAREER. The whole you belongs here. Register and learn more at AdventHealthCareerExpo.com JOIN OUR TEAM June 22 | 2 pm to 6 pm HIRING EVENT AdventHealth In Volusia and Flagler Counties 23-CORP-03842 405149-1 allprowindowcoverings@gmail.com www.allprowindowcoverings.com 386-281-3141 Call Today for a FREE in Home Estimate! USA Made. Get the most out of your patio and lanai by adding shade and comfort with our outdoor Solar Shades!
popular demand, our shutter sale continues thru July! with our best selling Composite Plantation Shutters at $24.99/Sq. Ft. Premium Window Coverings at Affordable Prices We will beat all written estimates!
By

Showing up, showing off

Flagler School of Dance hosts spring recital. The ‘Off Broadway’ themed show featured two performances on June 10.

Audiences at the Flagler Auditorium were treated to some of the great songs and dances from Broadway’s most famous musicals June 10 as Flagler School of Dance presented its spring recital. The school celebrated two graduating seniors, Lexi Rausch and Emma Schwen. The school is led by Artistic Director Jeanna Reiter, with teachers Lisa Smith, Morgan Currie, Javi Bustos, Jada Hathaway, Sydney McCue, Janelle Hodgson, Claire Collins, Emma Schwen, Alex Khoriakov and Mackenzie Fulling. Visit flaglerschoolofdance.org.

–BRIAN MCMILLAN

ObserverLocalNews.com THE OBSERVER | THURSDAY, JUNE 15, 2023 3B
Vanessa Dacosta, with Amelia Gallo, Emmerson Catalan, Sophie Berkovich and Ava Dezza in “Show Off” “Sherry,” with Jayden Dawson and Levi Tagliamonte Tayler Brasol in “Hard Knock Life” “All That Jazz,” with Jaden Jones, Adia Gerling, Kelsey Kling, Emily Robinson and Amia Brinda “King of New York,” with Amia Brinda, Emily Robinson, Kelsey Kling, Olivia Olson “Hound Dog,” with Alexa Gonzalez, Emma Schwen, Kerry O’Connell, Jayden Dawson, Levi Tagliamonte, Adia Gerling, Vanessa Dacosta, Sophie Berkovich, Emery Crooke “Ease On Down The Road,“ with Lily Bauer, Sophie Berkovich, Addison Campbell, Emery Crooke, Leilah Vy Cruz, Kaliah Fann, Adia Gerling, Kiley Golding, Ruby Golomb, Jaylee Peer, Brooke Sanders, Rylee Sloane, Danielle Triggs, Kaelyn Voltoline “Footloose,” with Vanessa Dacosta, Emery Crooke, Jayden Dawson, Emmerson Catalan, Evelyn Busler, Levi Tagliamonte Photos by Brian McMillan
David Gray is on the way! Don’t have your summer fun interrupted by a plumbing emergency. Need help after hours? No sweat! David Gray will save the day with fast, friendly service 24/7. 386-287-5711 davidgrayonline.com Call or schedule online, 24/7! Licensed and insured: CFC057459 15 Hargrove Lane, Unit 6K, Palm Coast, FL 32137 any service call over $240 $40 OFF 40th anniversary special Exclusions apply. Offer expires 7/15/23. 100% foravailableFinancing service installationand 404984-1

THE FINE ARTS

THE BEGINNING OF THE END

This painting by contemporary Taíno artist Albert Areizaga illustrates the destruction that European colonization brought the Caribbean with the arrival of Christopher Columbus in 1492.

The art is part of the “Caribbean Indigenous Resistance/Resistencia indígena del Caribe ¡Taíno Vive!” Smithsonian Traveling exhibition, now on display at the Museum of Arts and Sciences.

The exhibition, according to a news release from the museum, presents the history of the Taínos, the indigenous people of the northern Caribbean islands — Cuba, Jamaica, Haiti, the Dominican Republic and Puerto Rico — and how the Taínos’ descendants are reaffirming their culture and identity today.

The exhibition will be on display at MOAS, located at 352 S. Nova Road, through Aug. 6.

“HFM PYDX WF XYW, ZAXXV YET

LKXYWPX HFMK VYZZOFE, YET SOBPW

SFK VXKSXUWOFE XDXKH ZWXV FS WPX

JYH.” TYEUXK YLLH AXX NOAAXK

Puzzle One Clue: B equals G

“D ... NDMV FHAVU FYH PVG

VAHGDHUKN KOHCG OKODVT KUB

XCXXDVT. ... GYV FHAKU JHC AKSSJ

TYHCNB YKWV K SVKNNJ THRG TDBV.” IYSDT VWKUT

“SYA NCVI XG SYA LVRXSLVC HLGXIL. ...

CXGRHL RS XR! HKHAJ GRVA UVG V

RSLIYH, HKHAJ GRAXZH XG

VARXFYCVRH.” ASOHAR F. TXLRUASZ

© 2023 NEA, Inc.

Puzzle Two Clue: R equals F Puzzle Three Clue: K equals V

Complete the grid so that every row, column and 3x3 box contains every digit from 1 to 9 inclusively.

ObserverLocalNews.com 4B THE OBSERVER | THURSDAY, JUNE 15, 2023
celebrity
sudoku
cipher
©2023 Andrews McMeel Syndicate crossword ©2023 Universal Uclick ACROSS 1 Ally played by Calista Flockhart 7 “I can’t take this anymore!” 11 Savage X Fenty purchase 14 Title for Branagh or Caine 17 “La Cerveza Mas Fina” beers 19 Princess sporting “cinnamon buns” 20 Hankering 21 Undercover garb? 22 Property co-owners 24 Terrible twos outbursts 26 Auto pioneer Ransom 27 Academic acronym 28 Deet 30 Hall & ___ 31 Like Teddy Roosevelt’s stick 32 Professional fixers 36 Slow-cooked meal 38 Not at work (Abbr.) 39 Secluded valley 40 Word that forces some smiles 41 “Who knew?” 43 It’s often inflated 44 Goldfish in “Pinocchio” 46 Deal-busting grp. 47 Engaging in youthful flings 55 Senior’s elaborate invite 56 Big name in vacuums 57 Numbered musical creation 61 Be under the weather 62 Like an unkempt hearth 63 Oscar-winner Laura 65 Just plain silly 66 Gun the engine 67 Go headlong after one’s dreams 72 LG alternative 73 Move furtively 75 Winery containers 76 Like the “American Idol” logo 77 Cancun sun 78 Crafter’s website 79 Caped sidekick 82 Double-dealing 84 Where to learn life lessons 88 Commander in the White House, for one 91 Bale-ful place? 92 MSN alternative 93 Laudatory poem 94 Like some cheap wine 96 Garden store supply 98 Vegas opener? 100 “Not true!” 104 Air Force Academy locale 108 You can’t make one alone 109 Lopez of Latin pop 110 Twitter screed 111 Everglades wader 113 Louvre’s “___ Lisa” 114 Waiting-in-line talk 116 Comfy leggings ... and a hint to the circled letters 120 Creepy stare 121 “Alas,” in Berlin 122 Turquoise cousin 123 “Get the job done!” 124 Before, before 125 Def of hip-hop 126 Some track figures 127 Barista’s creations DOWN 1 Low-paying positions, in slang 2 “Calm down!” 3 Bank connection? 4 A long time 5 Crumb-toter 6 Rower’s muscles, briefly 7 Budget competitor 8 Kylo of “Star Wars” 9 “Scram!” 10 Red tape, for example 11 Data storage units 12 Get in touch with 13 Cleeves behind “Vera” and “Shetland” 14 Did some browning 15 Involve fully 16 Primary location for some Adelie penguins 18 Sandbox scrap 21 Shipping container 23 Infamous Roman fiddler 25 High on the Scoville scale, for many 29 Crossword tool for the confident 33 Aussie footwear brand 34 Setback 35 Most of the globe 37 Passing fancy 38 “Did I do that?” 42 Empty one’s baggage, emotionally or otherwise 43 Sushi selection 44 Concert stack 45 Head of Eton 47 Widely scattered 48 “Murder on the ___ Express” 49 “The Jungle Book” pack 50 Labor watchdog org. 51 Verbal dissents 52 Elba of “Luther” 53 “Coal Miner’s Daughter” singer Loretta 54 Archie, to Prince Harry 58 Interstellar distance 59 Open up a cab? 60 They rival Sertas 63 It’ll clean your pipes 64 Finish a course 65 Kitchen feature 68 Sermon topic 69 See 107-Down 70 Early Roman poet 71 Knuckleheads 74 Regretful cries 79 “Mary Tyler Moore” spinoff 80 Gut punch reaction 81 Web nuisance 82 “Cooking With ___” (“Today” show segment) 83 December standard 85 Vicar or chaplain 86 Carnival cousin 87 Colorful Hindu festival 88 Easily shaped or influenced 89 Coming from Amazon 90 Israeli sea 95 One who’s done for 96 Phishing target, often 97 Decides one will 98 Letters of Pride 99 Avia rival 101 Defensive denial 102 Broadway’s Mame 103 Celebrity comic tributes 105 Harry’s Hogwarts nemesis 106 Hand-on-Bible declarations 107 With 69-Down, a Nobelist in physics 112 Silverstein of kid lit 113 Bomer of “Fellow Travelers” 115 Pineapple’s pizza partner 117 TV’s Lasso 118 “Awesome!” 119 Food-fight missile
LEG WARMERS by Pam Amick Klawitter, edited by Jeff Chen Luis Campos Celebrity Cipher cryptograms are created from quotations by famous people, past and present. Each letter in the cipher stands for another.
6-15-23

Bully for Bucs SPORTS

Buccaneers seek competition on Bull fields.

MICHELE MEYERS CONTRIBUTING WRITER

Mainland football coach Travis Roland and his Buccaneers headed to the University of South Florida Bulls 7on7 and Big Man camps on June 10 to seek out the competition. His seven-on-seven crew spent the nearly 90-degree day playing five games on the outdoor fields while the offensive and defensive linemen ran drills on the indoor field.

“The only way to get competition is go find it,” Roland said. “You can go against each other in practice but it’s different when you’re playing somebody that doesn’t know what you’re doing, you don’t know what they’re doing. You get way more reps and way more quality.”

Seven-on-seven is played on a 40-yard field with unique rules that force a faster-paced game and usually more points. Players are not allowed to tackle and must touch below the neck to consider the player running the ball downed.

“It’s great team building because you find out about

yourselves,” Roland said. “You find out what you need to work on—who’s ready to compete. All in all, it was a good day. We got out healthy and found out what we need to work on.

Lawrence Campbell made some plays today that bodes well for us. I was surprised by our young guy, Khalil Wilmore, who I am excited about. He’s got a chance to be really good.”

The Buccaneers had a win against Bloomingdale and East Lake but lost their games against Wharton, Plant A and Gainesville. Team captain Jerard Bell’s favorite game was against East Lake. He is impressed that his teammates maintained their composure even after they made mistakes.

“We have to work on our intensity and moving at a faster pace,” he said. “They (teammates) did a good job. We made a few mistakes but still held our composure. My teammates are amazing. We do good with each other. We keep each other up.”

Out of the close to 200 players participating in the Big

Man camp, Buccaneer captain Christian Hudson took home the defensive lineman most valuable player award. He has been part of Mainland’s start ing lineup since his freshman year and will continue to be as a junior in the fall. He has played both offensively and defensively for the team.

“He is one of the strongest players on our team,” Roland said. “He is a phenomenal kid. He has a 3.2 or 3.3 GPA. He is good in every facet of life. It’s not a surprise he was chosen. We see how he works throughout the year in the weight room, off the field and leadership-wise.”

Hudson has played football since he was 4 years old. He attributes his success to lifting weights as often as possible and working hard. He believes the job is never finished.

“I’m going to tell my teammates to work harder than me and be better than me so they can get this award,” he said. “I’m going to push them to the best of my ability. I love my teammates. I wouldn’t be here without them.”

JUNE 15, 2023
Photos by Michele Meyers Mainland breaks up a pass by East Lake. Mainland’s Tyree Weatherspoon goes for the pass in the end zone. Mainland football player Rodney Hill was all smiles. Mainland football players battle for the ball against East Lake at the USF 7on7 camp. Clarence McCloud runs the ball toward the end zone. Emmanuel Yisrael laughs after he scores a touchdown in for Mainland against East Lake. Mainland quarterback Sebastian Johnson passes.
“The only way to get competition is go find it. You can go against each other in practice but it’s different when you’re playing somebody that doesn’t know what you’re doing, you don’t know what they’re doing. You get way more reps and way more quality.”
TRAVIS ROLAND, Mainland head football coach

Zachary Banks to play baseball at Embry-Riddle

The Seabreeze student will attend Embry-Riddle Aeronautical University on a full academic scholarship.

MICHELE MEYERS

CONTRIBUTING WRITER

On June 1, Zachary Banks got a phone call from an assistant baseball coach at Embry-Riddle Aeronautical University offering Banks a spot on the Eagles’ baseball team.

The next day, Banks celebrated his 18th birthday, then graduated from Seabreeze High School with honors. Banks has a full academic scholarship to Embry-Riddle. He waited to accept a college offer, hoping to get one that included playing baseball. He also was awarded substantial academic scholarships to Rollins College, the University of North Florida and the University of Florida, but none of them included spots on the baseball team. He accepted ERAU’s offer.

“I always knew I wanted to go to college,” Banks said. “My parents have always preached education first, and that I always need a backup. So I put education first and baseball has just been a bonus for me.”

“As

Seabreeze head baseball coach Jeff Lemon and assistant Jordan Johnson were teammates at ERAU. Lemon played baseball with the Eagles from 2010 to 2013.

“Zachary is an amazing young man and comes from a wonderfully supportive family,” Lemon said. “He has worked extremely hard in the classroom and on the baseball field to be provided the opportunity to excel at the collegiate level. His work has shown the underclassmen what it takes to receive an offer to be a student athlete at a university such as Embry-Riddle Aeronautical University.”

Banks’ love of athletics started on the sidelines in a Pack ’N Play in Astor, Florida. Banks’ mother, Michelle Banks, said he used to put his face toward the fence and watch his brother and sister play team sports.

His 28-year-old sister, Ciera Banks, played softball for BethuneCookman, then transferred to graduate from the University of Central Florida. His 25-year-old brother, Aaron Banks, played baseball for Seabreeze, then graduated from the University of South Florida. Both siblings also played soccer and basketball.

“I look up to them,” Zachary Banks said. “They taught me everything I know. My parents did, as well. They taught me to always try to do something fun like baseball.”

Banks began his baseball career at the age of 4 and tried other sports — a brief stint at football at 11 and basketball through his freshman year — but baseball was always his go-to.

When he was 12, he played in a tournament in Cooperstown, New York, with the Ormond Beach Golden Spikes, then played competitively with the Ocala Elite from age 13 to 16.

He remained with the team for another year after it became Team

SIDELINES

YOUTH WORLD SERIES IN ORMOND

Watson in support of the coach’s son’s mother, who survived over 90 days in the hospital with COVID-19.

Banks loved the team, so his mom and his father, Todd Banks, made a collective effort to drive him the four-hour round-trip to practice on the weekends.

“You do whatever you think is going to benefit your child,” Todd Banks said.

In his senior season at Seabreeze, Banks helped the Sandcrabs win the District 5-5A championship with a 12-2 win against Pine Ridge. He scored both runs in the ‘Crabs’ 2-1 regional quarterfinal win against Wesley Chapel as well as the only run in the 6-1 regional semifinal loss to Sebring. Banks has struck a balance between his athletic and academic prowess.

In fifth grade, he discovered an affinity for math and strove to challenge himself by taking advanced courses in middle and high school.

During his junior year, he took AP Calculus; in his senior year, he took AP Statistics. He graduated from Seabreeze summa cum laude with a 4.4 GPA, a scholar and merit designation and an AICE diploma.

This fall, Banks hopes to study Aviation Business Administration at ERAU.

He discovered he enjoys business and marketing after taking an AICE business course and a marketing class in high school. He said he “likes bringing products to life.”

His plan for success in his freshman year of college includes stepping out of his comfort zone and making new connections.

“As ... one of the few African Americans at Seabreeze, I just strive to show that anybody can do anything,” he said. “I just try to lead by example, and I’ve always done that. I like to lead by my actions.”

The 2023 Youth World Series is returning to the Ormond Beach Sports Complex on June 21-25. Organized by Athletx Sports Group, the baseball tournament will feature nearly 120 games with 36 teams and about 600 players participating. The games are open to the public.

Athletx Sports Group stages the Youth World Series throughout the United States at family vacation destinations. Competitors range in age from 9 to 14. Eleven states and Puerto Rico will be represented.

“This event will bring visitors from all around the country as well as a positive economic impact into the community,” Lori Campbell Baker, the executive director of the Daytona Beach Area Convention & Visitors Bureau, said in a press release.

ROBINSON TO HOST SEABREEZE CAMP

Former Seabreeze High basketball star Kenya Robinson will host a basketball skills camp on Saturday, July 29, at the Seabreeze gym.

Robinson graduated from Seabreeze in 1988 and went on to play for the University of Georgia and the University of New Orleans before embarking on a pro career. She had two stints in the WNBA but played most of her career in Finland She is a certified basketball development trainer.

Camp fee is $60 and includes a camp T-shirt, prizes and more. Early bird discount is $50. Register at bit. ly/3KYtYB2. Use HuimaPro10 at checkout for the discount.

For more information, email kenyarobson.kr10@gmail.com or call 941-270-3436.

PLANTATION BAY HIRES INSTRUCTOR

Plantation Bay Golf and Country Club has hired Holton Freeman as its new director of instruction. Freeman has a successful track record of training high-profile LPGA

Tour and college golfers. As director of instruction, Freeman will be responsible for overseeing all golf instruction programs at the club, according to a press release. He will work closely with the members and guests, assessing their skill levels and developing personalized training programs.

GABRIEL HULL WINS FJT EVENT

Gabriel Hull, 15, shot a 3-under-par 67 on the final day of the boys 13-15 Florida Junior Tour tournament at Saddlebrook in Wesley Chapel to win the Memorial Day weekend event by one stroke over Giuseppe Puebla. Hull shot 210 over three rounds to win his first FJT event.

The South Daytona resident is home-schooled and takes two classes at Riverbend Academy in Ormond Beach. He plays golf for Spruce Creek High School.

4 bed, 2 bath, 4 car detached garage home just steps to the Halifax River! Living/dining room combo w/ LARGE bonus room/playroom off of the laundry area. Beautifully updated bathrooms. Full fenced deep lot w/ storage shed, outside shower and plenty of room for an RV or any other toys you may have.

MLS#1110048 $425,000

Call Dena Brokaw 386-316-2665

This highly sought after ground floor, 2 bed, 2 bath condo, freshly painted & new windows installed ready for new owners. Perfect for snow birds, retirees or great cash flow rental. Low maintenance fee covers, water, sewer, trash, building insurance, lawn care , pool & common areas.Cash or conventional financing only.

MLS#1109688 $154,000 Call Susan Sapsford 386-566-4837.

Enjoy resort style living in this beautiful 4 bed/ 4 bath home filled w/ character and charm. It features : Huge kitchen w/island & massive pantry, 2 master suites, split floor plan, large open living & dining areas, fabulous outdoor areas for entertaining, including a pool with waterfall.

MLS#1110068 $662,000

Call Peggy Placek 386-341-4492.

RACQUET

&

VANTAGE POINTE POOL

Hear the ocean breeze from this totally renovated first floor 1 bedroom condo. Just steps from the ocean this unit features new lvp flooring, refrigerator, range, microwave and yes... A dishwasher! Nothing to do but move in. Bedroom features ample closet space. Cute back porch to sit and enjoy the sunrise and sunsets.

MLS#1110012 $172,000

Call Debi Giles 386-566-7763.

CORBIN

LAND/ PRIVACY INVESTOR ALERT! 2.5 acres of serene, quiet, private, ‘’old Florida vibe’’ land. NO HOA. Existing home sustained storm damage, but was a custom designed, octagonal footprint, contemporary style for its time. Unique home with wrap around covered porch, open floor plan, vaulted ceilings, and double lofts. MLS#1110140 $349,900

Call Todd Hammond 386-233-5957.

Check out this beachside beauty! This home has beautiful updates including: a metal roof that is about 3 years old, a large fenced in & private backyard. Plus, so much more! It was designed as a studio for the ultimate open concept living. It could easily be converted back to a large bedroom or 2 bedrooms.

MLS#1109977 $319,000

Call Jessica Melton 386-675-2445.

ObserverLocalNews.com 6B THE OBSERVER | THURSDAY, JUNE 15, 2023 405000-1 *Average annual per household savings based on a national survey by State Farm® of new policyholders who reported savings by switching to State Farm. Here’s home savings. Combine save ready coverage Call me Like State Jeff Evans, Agent 50 Cypress Point Pkwy Palm Coast, FL 32164 Bus: 386-446-9594 Fax: 386-449-0114 www.jeffevanspalmcoast.com 2020 *Average annual per household savings based on a of new policyholders who reported savings by switching to State Farm. State Farm Mutual Automobile Insurance Company State Farm Indemnity Company State Farm Fire and Casualty Company State Farm General Insurance Company Bloomington, IL State Farm County Mutual Insurance Company of Texas State Farm Lloyds Richardson, TX State Farm Florida Insurance Company Winter Haven, FL 2001299 Here’s the deal, home + auto = savings. Combine home and auto and save an average of . I’m ready to help you get the right coverage at the right price. Call me for a quote. Like a good neighbor, State Farm is there.® Jeff Evans, Agent 50 Cypress Point Pkwy Palm Coast, FL 32164 Bus: 386-446-9594 Fax: 386-449-0114 www.jeffevanspalmcoast.com $965* 2020 Jeff Evans, Agent 50 Cypress Point Pkwy, Ste C-3 Palm Coast, FL 32164 Bus: 386-446-9594 Fax: 386-449-0114 Located near Palm Coast Walmart Here’s the deal, home + auto = savings. www.jeffevanspalmcoast.com
Photo by Michele Meyers Seabreeze graduate Zachary Banks is going to Embry-Riddle Aeronautical University in the fall to enter the avaiation business program and play on the Eagles baseball team.
... one of the few African Americans at Seabreeze, I just strive to show that anybody can do anything. I just try to lead by example, and I’ve always done that. I like to lead by my actions.”
BANKS, Seabreeze graduate
Holton Freeman
405149-1 allprowindowcoverings@gmail.com www.allprowindowcoverings.com 386-281-3141 Call Today for a FREE in Home Estimate! USA Made. Get the most out of your patio and lanai by adding shade and comfort with our outdoor Solar Shades! By popular demand, our shutter sale continues thru July! with our best selling Composite Plantation Shutters at $24.99/Sq. Ft. Premium Window Coverings at Affordable Prices We will beat all written estimates! 405148-1
Courtesy photo Gabriel Hull and Angela (Yiting) Wang won
the
boys
and
girls
13-15
titles at
the
Florida Junior Tour Memorial Day Weekend tournament at the Saddlebrook Course in Wesley Chapel. PARK
CORPORATE OFFICE - 386-677-SOLD (7653) 900 West Granada Blvd., Ste. 3, Ormond Beach, FL 32174 BEACHSIDE OFFICE - 386-441-SOLD (7653) 2110 Oceanshore Blvd., Ste. B, Ormond Beach, FL 32176 PORT ORANGE OFFICE - 386-767-SOLD (7653) 840 Dunlawton Ave., Ste. D, Port Orange, FL 32127 COMMERCIAL OFFICE - 386-253-8565 140 S. Atlantic Ave., Suite 102, Ormond Beach, FL 32176 DAYTONA BEACH SHORES OFFICE - 386-766-SOLD (7653) 3118 S. Atlantic Ave., Daytona Beach Shores, FL 32118 DAYTONA BEACH ORMOND TERRACE HOLLY SQUARE CONDO DAYTONA BEACH

REAL ESTATE

House in Seabridge tops sales list in Ormond Beach

Ahouse in Seabridge was the top real estate transaction for April 30 to May 6 in Ormond Beach and Ormond-by-the-Sea. Phillip and Trudy Baron, as trustees, sold 7 Sea Drift Terrace to James Olson, as trustee, for $1,504,500. Built in 1983, the house is a 4/4.5 and has a pool, fireplace and 3,771 square feet of living space. It sold in 2016 for $400,000.

ALEXIS MILLER

CONTRIBUTING WRITER

Condos

Linda Lee Arnold, of Ormond Beach, sold 3370 Ocean Shore Blvd., Unit 5070, to Double Trinity LLC, of Ormond Beach, for $229,000.

Built in 1987, the condo is a 2/2 and has 1,275 square feet. It sold in 1987 for $102,000.

Simona Zatman, as trustee, sold 901 South Atlantic Ave., Unit PH5, to Lester Pozas Perez Jacome, of Ormond Beach, for $600,000.

Built in 1980, the condo is a 3/4.5 with 2,967 square feet. It sold in 2008 for $360,000.

J & K Dietrich Properties LLC, of Tequesta, sold 1513 Ocean Shore Blvd., Unit 3F, to Gordon and Debra Folkes, of Maitland, for $475,000.

Built in 1985, the condo is a 3/3 and has 1,869 square feet. It sold in 2013 for $305,000.

Jane McCracken, of Orlando, sold 180 Limewood Place, Unit C, to Marie Wright Gibson and John Wright, of Ormond Beach, for $230,000. Built in 1986, the condo

is a 2/2 and has 1,164 square feet. It sold in 2014 for $61,000.

ORMOND BEACH

Arbor TrailsDavid Wengert, of Ormond Beach, sold 7 Glen Arbor Park to Frederick and Constance Boerkoel, of Akron, Ohio, for $207,500. Built in 1981, the house is a 2/2.5 and has 1,280 square feet. It sold in 2013 for $63,000.

Dixie Ormond David Valliere and Lori Thompson, of Ormond Beach, sold 9 Tiffany Circle to Jarrod and Victoria Williamson, of Ormond Beach, for $559,000. Built in 1968, the house is a 3/3 and has 1,976 square feet. It sold in 2020 for $262,500.

Halifax Plantation Yardly Childs Gray, as a personal representative, of Ormond Beach, sold 4046 North Chinook Lane to Tyler Dean, as trustee, for $501,100. Built in 2001, the house is a 3/3 and has a pool, a hot tub, a fireplace and 2,593 square feet. It sold in 2008 for $425,000.

Hunters Ridge Syed and Shahper Rahman, of Ormond Beach, sold 73 Foxcroft Run to John Alvarez, of Ormond Beach, for $835,000. Built in 2003, the house is a 5/4 and has a pool, a hot tub, a fireplace and 4,668 square feet. It sold in 2011 for $350,000.

Not in a subdivision Drew Larson Group LLC, of

Ormond beach, sold 555 South Ridgewood Ave. to Patricia Brock Loveland, as trustee, for $218,500. Built in 1944, the house is a 2/1 and has 753 square feet. It sold in 2022 for $151,000.

Ormond Green

Susan Bagnall, of Rockledge, sold 6 Greenvale Drive to Robert and Roseann Gagliardi, of Ormond Beach, for $440,000, Built in 2000, the house is a 4/2 and has a pool, a hot tub and 2,272 square feet. It sold in 2001 for $153,500.

Ormond Terrace William and Janet Phillips, of Ormond Beach, sold 285 Melrose Ave. to Bartley Lebanon LLC, of Daytona Beach, for $330,000. Built in 1972, the house is a 3/2 and has 1,311 square feet. It sold in 2017 for $195,000.

Pine Crest Sally Baumeier, as trustee, sold to Kathleen Rotherham, of Ormond Beach, for $430,000. Built in 1963, the house is a 4/3 and has a fireplace and 2,440 square feet.

Plantation Bay

Bruce Rigg, of Hewitt, New Jersey, sold 1262 Royal Pointe Lane to Marilyn and Gregory Blanche, of Traverse City, Michigan, for $570,000. Built in 2004, the house is a 3/2 and has a pool and 2,141 square feet. It sold in 2021 for $500,000.

Donna Marie Wood, of Haymarket, Virginia, sold 822 Aldenham Lane to Lawrence Walter Palovich and Dawn Marie Palovich, of Ormond Beach, for $375,000. Built in 2016, the house is a 3/3 and has 2,056 square feet. It sold in 2016 for 231,900.

Plantation Pines

Kemonji Ellington and Kerri Lee Ellington, of Oak Hill, sold 204 Conifer Lane to Victor and Dinah King, of Ormond Beach, for $490,000. Built in 1989, the house is a 4/2.5 and has two fireplaces and 2,398 square feet. It sold in 2017 for $283,000.

Reflections Village Arthur Robbins and Randall Hale, of Daytona Beach, sold 3 Reflec-

tions Village to Douglas Evans and Shannon Wargo, of Ormond Beach, for $420,000. Built in 1995, the house is a 3/2 and has a pool and 1,912 square feet. It sold in 2017 for $214,000.

Rosemont

Kevin Layne and Samantha Reid

Layne, of Ormond Beach, sold 216 Benjamin Drive to Lynn Ruth Rakowski, of Ormond Beach, for $470,000. Built in 1952, the house is a 3/2 and has a pool and 1,557 square feet. It sold in 2020 for $296,900.

Tomoka Meadows

David Wengert, of Ormond Beach, sold 60 Tomoka Meadows Blvd. to Tyler and Kadie Green, of Ormond Beach, for $221,000. Built in 1980, the house is a 2/2.5 and has 1,434 square feet. It sold in 2012 for $42,199.

Bethany Roesner, of Vero Beach, sold 65 Tomoka Meadows Blvd. to Rafik Beshay and Rana Dawoud, of Ormond Beach, for $220,000. Built in 1980, the house is a 2/2.5 and has 1,434 square feet. It sold in 2018 for $142,000.

ORMOND BY THE SEA

Matthew Scot Robinson and Autumn Lea Robinson, of Daytona Beach, sold 7 Camellia Drive to Chad Gibson and Jahnee Prince, of Atlanta, Georgia, for $319,900. Built in 1959, the house is a 2/1.5 and has 891 square feet. It sold in 2021 for $251,000.

Sylvester Zarzana, of Cumming, Georgia, sold 129 Sandpiper Ridge Drive to Glen and Penelope Swisher, of Ormond Beach, for $540,000. Built in 1993, the house is a 3/2 and has a pool and 1,568 square feet. It sold in 2002 for $173,500.

John Adams, of Adams, Cameron & Co. Realtors, contributed to this report.

Haircuts, Colors, Styles for Women and Men

* Facials, Manicures and Pedicures

* Students perform all Services under supervision by Licensed Instructors

* Now Open Evenings and Saturdays

* Set an Appointment with us!

ObserverLocalNews.com THE OBSERVER | THURSDAY, JUNE 15, 2023 7B
The house at 7 Sea Drift Terrace has 3,771 square feet of living space. RESIDENTIAL REAL ESTATE TRANSACTIONS APR. 30 - MAY 6
Photo courtesy of Realty Pros Assured *
AT DAYTONA COLLEGE CALL: (386) 267-0565 EMAIL: THESPA@DAYTONACOLLEGE.EDU 425 SOUTH NOVA ROAD, ORMOND BEACH 404982-1 $3,999 2007 DODGE CARAVAN AUTO, AIR, POWER 2010 CHRYSLER SEBRING CONVERTIBLE HAS ENGINE NOISE 89,000 MILES TAKING BIDS MAKE OFFER 2015 JEEP WRANGLER SPORT 2 DOOR, AUTOMATIC, AIR, 53K MILES $23,999 Auto & Boat Upholstery Repairs • Collector Cars • Vinyl Convertible Tops • Interiors • Custom Work AIRPORT AUTO & UPHOLSTERY FULL INVENTORY AT AIRPORTAUTOSALESANDUPHOLSTERY.COM $8,999 2011 DODGE GRAND CARAVAN 7 PASSENGER VAN WITH STOW AND GO SEATS, 90K MILES $3,999 2002 HONDA CRV 4 DOOR, RED, AUTO, AIR, POWER $3,999 2002 CHEVROLET SUBURBAN TAHOE SUV AUTOMATIC, V8, GREAT TOW CAR FOR RV CONCESSION TRAILER FULLY EQUIPPED, BECOME YOUR OWN BOSS $54,900 2007 GULFSTREAM 38FT MOTORHOME, (WITH LARGE TIP OUT), SUN VOYAGER, 46K MILES $49,999OFFERS Call Patsy DeVito 386-437-2403 ACCEPTING R.V.’S ON CONSIGNMENT We Buy Used Cars, Trucks, Vans $9,995 2012 CHEVROLET TRAVERSE SUV AUTOMATIC, AIR, POWER, CLEAN 404939-1 2013 FORD EDGE SUV AUTO, AIR, POWER, EXCELLENT CONDITION, 89,000 MILES $14,999 SALE PRICE! 2003 HONDA CRV SUV $4,999 AUTO, AC $4,999 2008 SATURN AURA 4 DOOR, AUTO, AIR, POWER, CLEAN CONDITION 2 Midway Dr., SR 100 Palm Coast Mon-Fri 8am - 5pm, Sat. 8am - 1pm, Sun. Closed WILL PAY TOP DOLLARCALL TODAY! FOR YOUR USED CAR, TRUCK OR VAN! 405208-1

Future papers in this lawsuit will be mailed or e-mailed to the address on record at the clerk’s office.

WARNING: Rule 12.285, Florida Family Law Rules of Procedure, requires certain automatic disclosure of documents and information. Failure to comply can result in sanctions, including dismissal or striking of pleadings.

Dated: 6/7/2023

CLERK OF THE CIRCUIT COURT (SEAL) By: /s/ Makaela McCarthy Deputy Clerk June 15, 22, 29; July 6, 2023 23-00080G

FLAGLER COUNTY LEGAL NOTICES

FIRST INSERTION

FIRST INSERTION NOTICE TO CREDITORS IN THE CIRCUIT COURT FOR FLAGLER COUNTY, FLORIDA PROBATE DIVISION 48 File No.: 18-2023-CP-00219 XXXXXX IN RE: ESTATE OF CHRISTOPHER ALEXANDER WALTERS, Deceased.

The administration of the estate of CHRISTOPHER ALEXANDER WALTERS, deceased, whose date of death was January 20, 2023, is pending in the Circuit Court for Flagler County, Florida, Probate Division, the address of which is 1769 E. Moody Blvd., Bunnell, Florida 32110. The names and addresses of the personal representative and the personal representative’s attorney are set forth below. All creditors of the decedent and other persons having claims or demands against decedent’s estate on whom a copy of this notice is required to be served must file their claims with this court ON OR BEFORE THE LATER OF 3 MONTHS AFTER THE TIME OF THE FIRST PUBLICATION OF THIS NOTICE OR 30 DAYS AFTER THE DATE OF SERVICE OF A COPY OF THIS NOTICE ON THEM.

SUBSEQUENT INSERTIONS

Rule 12.285, Florida Family Law Rules of Procedure, requires certain automatic disclosure of documents and information. Failure to comply can result in sanctions, including dismissal or striking of pleadings.

Dated: 06/09/23 CLERK OF THE CIRCUIT COURT (SEAL) By: /s/ Deputy Clerk June 15, 22, 29; July 6, 2023 23-00081G

All other creditors of the decedent and other persons having claims or demands against decedent’s estate must file their claims with this court WITHIN 3 MONTHS AFTER THE DATE OF THE FIRST PUBLICATION OF THIS NOTICE. ALL CLAIMS NOT FILED WITHIN THE TIME PERIODS SET FORTH IN FLORIDA STATUTES SECTION 733.702 WILL BE FOREVER BARRED. NOTWITHSTANDING THE TIME PERIODS SET FORTH ABOVE, ANY CLAIM FILED TWO (2) YEARS OR MORE AFTER THE DECEDENT’S DATE OF DEATH IS BARRED. The date of first publication of this notice is June 15, 2023.

LOAN TRUST 2005-24, MORTGAGE PASS-THROUGH CERTIFICATES, SERIES 2005-24, Plaintiff and HARRIS, WILLIAM R, et. al., are Defendants. Tom Bexley, Clerk of the Circuit Court and Comptroller will sell to the highest bidder for cash at http://flagler. realforeclose.com/, at the hour of 11:00

A.M., on the 30th day of June, 2023, the following described property: LOT 16, BLOCK 50, PALM COAST, MAP OF WYNNFIELD, SECTION 23, ACCORDING TO THE PLAT THEREOF, AS RECORDED IN MAP BOOK 8, PAGE(S) 23 THROUGH 38, OF THE PUBLIC RECORDS OF FLAGLER COUNTY, FLORIDA. Any person claiming an interest in the surplus from the sale, if any, must file a claim per the requirements set forth in FL Stat. 45.032.

ObserverLocalNews.com 8B THE OBSERVER | THURSDAY, JUNE 15, 2023 NOTICE OF SALE IN THE CIRCUIT COURT OF THE SEVENTH JUDICIAL CIRCUIT IN AND FOR FLAGLER COUNTY, FLORIDA CIVIL DIVISION Case #: 2019-CA-000173 DIVISION: 49 JPMorgan Chase Bank, National Association Plaintiff, -vs.James T. Miley; Tracy L. Miley; Unknown Parties in Possession #1, if living, and all Unknown Parties claiming by, through, under and against the above named Defendant(s) who are not known to be dead or alive, whether said Unknown Parties may claim an interest as Spouse, Heirs, Devisees, Grantees, or Other Claimants; Unknown Parties in Possession #2, if living, and all Unknown Parties claiming by, through, under and against the above named Defendant(s) who are not known to be dead or alive, whether said Unknown Parties may claim an interest as Spouse, Heirs, Devisees, Grantees, or Other Claimants Defendant(s). NOTICE IS HEREBY GIVEN pursuant to order rescheduling foreclosure sale or Final Judgment, entered in Civil Case No. 2019CA-000173 of the Circuit Court of the 7th Judicial Circuit in and for Flagler County, Florida, wherein JPMorgan Chase Bank, National Association, Plaintiff and James T. Miley are defendant(s), I, Clerk of Court, Tom Bexley, will sell to the highest and best bidder for cash AT https://flagler. realforeclose.com/, AT 11:00 A.M. on June 30, 2023, the following described property as set forth in said Final Judgment, to-wit: LOT 4, BLOCK 41, OF PALM COAST, MAP OF WYNNFIELD, SECTION 19, ACCORDING TO THE PLAT THEREOF, RECORDED IN PLAT BOOK 7, PAGE(S) 25-30, OF THE PUBLIC RECORDS OF FLAGLER COUNTY, FLORIDA. ANY PERSON CLAIMING AN INTEREST IN THE SURPLUS FROM THE SALE, IF ANY, OTHER THAN THE PROPERTY OWNER AS OF THE DATE OF THE LIS PENDENS MUST FILE A CLAIM NO LATER THAN THE DATE THAT THE CLERK REPORTS THE FUNDS AS UNCLAIMED. *Pursuant to Fla. R. Jud. Admin. 2.516(b)(1)(A), Plaintiff’s counsel hereby designates its primary email address for the purposes of email service as: FLeService@ logs.com* Pursuant to the Fair Debt Collection Practices Act, you are advised that this office may be deemed a debt collector and any information obtained may be used for that purpose. If you are a person with a disability who needs any accommodation in order to participate in this proceeding, you are entitled, at no cost to you, to the provision of certain assistance. Please contact the ADA Coordinator; 101 North Alabama Avenue, Ste.-D-305, Deland, Florida 32724 (386) 257-6096 at least 7 days before your scheduled court appearance, or immediately upon receiving this notification of the time before the scheduled appearance is less than 7 days. If you are hearing or voice impaired, call 711. LOGS LEGAL GROUP LLP Attorneys for Plaintiff 2424 North Federal Highway, Suite 360 Boca Raton, Florida 33431 Telephone: (561) 998-6700 Ext. 66821 Fax: (561) 998-6707 For Email Service Only: FLeService@logs.com For all other inquiries: jhooper@logs.com By: /s/Jessica Hooper Jessica A. Hooper, Esq. FL Bar # 1018064 19-318113 FC01 CGG June 8, 15, 2023 23-00078G SECOND INSERTION FIRST INSERTION NOTICE OF ACTION FOR THE NAME CHANGE OF MINOR CHILD IN THE CIRCUIT COURT OF THE SEVENTH JUDICIAL CIRCUIT, IN AND FOR FLAGLER COUNTY, FLORIDA Case No.: 2023-DR-000388 IN RE: THE NAME CHANGE OF MINOR CHILD: HOYT OLIVER ADAMS ALICIA MENESES MARLER, Petitioner/Mother To: Elias Garcia Jr. Last known address: 957 E. Nasa Pkwy #320, Houston, TX 77058 YOU ARE NOTIFIED that an action for The Name Change of Minor Child has been filed against you and that you are required to serve a copy of your written defenses, if any, to Petitioner ALICIA MENESES MARLER’s attorney, Janelle Green Esq., whose address is: 7025 County Rd 46A, Suite 1071, #406, Lake Mary, FL 32746 on or before July 17, 2023 and file the original with the clerk of this Court at: 1769 E Moody Blvd, Building #1, Bunnell, FL 32110, before service on Petitioner’s attorney or immediately thereafter. If you fail to do so, a default may be entered against you for the relief demanded in the petition. Copies of all court documents in this case, including orders, are available at the Clerk of the Circuit Court’s office. You may review these documents upon request. You must keep the Clerk of the Circuit Court’s office notified of your current address. (You may file Designation of Current Mailing and E-Mail Address, Florida Supreme Court Approved Family Law Form 12.915.)
NOTICE OF ACTION FOR DISSOLUTION OF MARRIAGE (NO CHILD OR FINANCIAL SUPPORT) IN THE CIRCUIT COURT OF THE Seventh JUDICIAL CIRCUIT, IN AND FOR Flagler COUNTY, FLORIDA Case No.: 2023 DR 000551 Division: 47 Luis M Rodrigues, Petitioner, and Maria De Lurdes Tomas Figueiredo Rodrigues Respondent, TO: Maria De Lurdes Tomas Figueiredo Rodrigues {Respondent’s last known address} Unknown YOU ARE NOTIFIED that an action for dissolution of marriage has been filed against you and that you are required to serve a copy of your written defenses, if any, to it on {name of Petitioner}, whose address is 13 Flemington Lane Palm Coast FL 32137 on or before 7/22/23, and file the original with the clerk of this Court at 1769 E. Moody Blvd. Bldg 1 Bunnell, FL 32110 before service on Petitioner or immediately thereafter. If you fail to do so, a default may be entered against you for the relief demanded in the petition. The action is asking the court to decide how the following real or personal property should be divided: ____ Copies of all court documents in this case, including orders, are available at the Clerk of the Circuit Court’s office. You may review these documents upon request. You must keep the Clerk of the Circuit Court’s office notified of your current address. (You may file Designation of Current Mailing and E-Mail Address, Florida Supreme Court Approved Family Law Form 12.915.) Future papers in this lawsuit will be mailed or e-mailed to the address(es) on record at the clerk’s office. WARNING:
Personal Representative: JUSTIN A. WALTERS 1700 Briar Ridge Road McLean, Virginia 22101 Attorney for Personal Representative: ELLEN L. REGNERY, ESQ. Florida Bar No. 863769 Nason Yeager Gerson Harris & Fumero, P.A. 3001 PGA Blvd., Ste. 305 Palm Beach Gardens, Florida 33410 Telephone: (561) 686-3307 Email: eregnery@nasonyeager.com June 15, 22, 2023 23-00082G SECOND INSERTION NOTICE OF PUBLIC SALE 500 E Court st, Bunnell FL 32110 Storage content sale. In accordance with Florida’s Lien Code, the following self-storage unit will be sold at Auction. Michael Schumacher- 500 E Court st unit 3F, Bunnell FL 32110. The self-storage units generally contain furniture. Clear Focus Management, LLC Reserve the right to withdraw a self-storage unit from the sale at any time. Sale will take place on site on June 22th 9:00 AM-10:00 AM June 8, 15, 2023 23-00146F FIRST INSERTION Notice Under Fictitious Name Law According to Florida Statute Number 865.09 NOTICE IS HEREBY GIVEN that the undersigned, desiring to engage in business under the Fictitious Name of Shine for Kids located at 25 Round Table Ln, in the City of Palm Coast, Flagler County, FL 32164 intends to register the said name with the Division of Corporations of the Department of State, Tallahassee, Florida. Dated this 6th day of June, 2023. Infinite Sunshine, PLLC June 15, 2023 23-000150F FIRST INSERTION Notice Under Fictitious Name Law According to Florida Statute Number 865.09 NOTICE IS HEREBY GIVEN that the undersigned, desiring to engage in business under the Fictitious Name of Flora of Flagler located at 1115 N Daytona Ave., in the City of Flagler Beach, Flagler County, FL 32136 intends to register the said name with the Division of Corporations of the Department of State, Tallahassee, Florida. Dated this 13th day of June, 2023. 405185-1XNLV21608 STAY INFORMED, BE SAFE. Hurricane season has arrived. Stay up to date on the latest hurricane activity affecting Flagler and Volusia counties by following the Palm Coast and Ormond Beach Observers on the following digital channels. Read Online and Sign Up for the Daily Headlines at ObserverLocalNews.com Follow us on Facebook Palm Coast Observer and Ormond Beach Observer PUBLIC NOTICES THURSDAY, JUNE 15, 2023 Find your notices online at: ObserverLocalNews.com, FloridaPublicNotices.com and BusinessObserverFL.com
Additional Public Notices may be accessed on ObserverLocalNews.com and the statewide legal notice website, FloridaPublicNotices.com FOURTH INSERTION NOTICE OF SUSPENSION To: Jacob M. Perry Case No: CD202300056/D 3109829 A Notice of Suspension to suspend your license and eligibility for licensure has been filed against you. You have the right to request a hearing pursuant to Sections 120.569 and 120.57, Florida Statutes, by mailing a request for same to the Florida Department of Agriculture and Consumer Services, Division of Licensing, Post Office Box 5708, Tallahassee, Florida 32314-5708. If a request for hearing is not received by 21 days from the date of the last publication, the right to hearing in this matter will be waived and the Department will dispose of this cause in accordance with law. May 25, June 1, 8, 15, 2023 23-00122F
SECOND INSERTION NOTICE OF FORECLOSURE SALE IN THE CIRCUIT COURT OF THE 7TH JUDICIAL CIRCUIT, IN AND FOR FLAGLER COUNTY, FLORIDA. CASE No. 2018 CA 000321 THE BANK OF NEW YORK MELLON FKA THE BANK OF NEW YORK, AS TRUSTEE FOR THE HOLDERS OF CWALT, INC. ALTERNATIVE LOAN TRUST 2005-24, MORTGAGE PASS-THROUGH CERTIFICATES, SERIES 2005-24, Plaintiff, vs. HARRIS, WILLIAM R, et. al., Defendants. NOTICE IS HEREBY GIVEN pursuant to an Order or Final Judgment entered in Case No. 2018 CA 000321 of the Circuit Court of the 7th Judicial Circuit in and for FLAGLER County, Florida, wherein, THE BANK OF NEW YORK MELLON FKA THE BANK OF
EE FOR THE HOLDERS
ALTERNATIVE
NEW YORK, AS TRUST-
OF CWALT, INC.
IMPORTANT If you are a person with a disability who needs an accommodation in order to access court facilities or participate in a court proceeding, you are entitled, at no cost to you, to the provision of certain assistance. To request such an accommodation, please contact Court Administration in advance of the date the service is needed: Court Administration, 125 E. Orange Ave., Ste. 300, Daytona Beach, FL 32114, (386) 257-6096. Hearing or voice impaired, please call 711. DATED this 2nd day of June 2023. GREENSPOON MARDER LLP TRADE CENTRE SOUTH, SUITE 700 100 WEST CYPRESS CREEK ROAD FORT LAUDERDALE, FL 33309 Telephone: (954) 343 6273 Hearing Line: (888) 491-1120 Facsimile: (954) 343 6982 Email 1: Scott.Griffith@gmlaw.com Email 2: gmforeclosure@gmlaw.com By: /S/ Scott Griffith Scott Griffith, Esq. Florida Bar No. 26139 32875.1718 / JDeleon-Colonna June 8, 15, 2023 23-00079G SAVE TIME Email your Legal Notice legal@palmcoastobserver.com

AS TRUSTEE OF THE COCHRAN FAMILY TRUST UAD MAY 5, 2009 Address c/o Legacy Law Associates, P.L. 313 S. Palmetto Ave. Daytona Beach, FL 32114 ALL INTERESTED PERSONS ARE NOTIFIED THAT: All creditors of the estate of the decedent and persons having claims or demands against the estate of the decedent other than those for whom provision for full payment was made in the Order of Summary Administration must file their claims with this court WITHIN THE TIME PERIODS SET FORTH IN FLORIDA STATUTES SECTION 733.702. ALL CLAIMS AND DEMANDS NOT SO FILED WILL BE FOREVER BARRED. NOTWITHSTANDING ANY OTHER APPLICABLE TIME PERIOD, ANY CLAIM FILED TWO (2) YEARS OR MORE AFTER THE DECEDENT’S DATE OF DEATH IS BARRED. The date of first publication of this Notice is June 15, 2023.

Person Giving Notice: FRANK LEWIS c/o Legacy Law Associates, P.L. 313 S. Palmetto Ave. Daytona Beach, FL 32114

FIRST INSERTION NOTICE TO CREDITORS IN THE CIRCUIT COURT FOR VOLUSIA COUNTY, FLORIDA

PROBATE DIVISION File No. 2023-11134 PRDL Division 10 IN RE: ESTATE OF KATHARINA DUGER, Deceased. The administration of the estate of KATHARINA DUGER, deceased, whose date of death was April 1, 2023, is pending in the Circuit Court for Volusia County, Florida, Probate Division, the address of which is P. O. Box 6043, DeLand, FL 32721-6043. The names and addresses of

FIRST INSERTION NOTICE TO CREDITORS IN THE CIRCUIT COURT OF THE SEVENTH JUDICIAL CIRCUIT IN AND FOR VOLUSIA COUNTY,

IN FLORIDA STATUTES SECTION 733.702 WILL BE FOREVER BARRED. NOTWITHSTANDING THE TIME PERIOD SET FORTH ABOVE, ANY CLAIM FILED TWO (2) YEARS OR MORE AFTER THE DECEDENT’S DATE OF DEATH IS BARRED. The date of first publication of this notice is: June 8, 2023.

JENNIFER MALLAS Personal Representative c/o Legacy Law Associates, P.L. 313 S. Palmetto Avenue Daytona Beach, FL 32114 Edward A. Dimayuga Attorney for Personal Representative Florida Bar No. 50634 Legacy Law Associates, P.L. 313 S. Palmetto Avenue Daytona Beach, FL 32114

Telephone: (386) 252-2531 Email: Ed@LegacyLaw313.com

Secondary Email: paralegal@LegacyLaw313.com June 8, 15, 2023 23-00104I

SECONDINSERTION NOTICE TO CREDITORS IN THE CIRCUIT COURT, SEVENTH JUDICIAL CIRCUIT, IN AND FOR VOLUSIA COUNTY, FLORIDA PROBATE DIVISION File No.: 2023-11073-PRDL Division: 10 IN RE: ESTATE OF CAROL LEE IRELAND Deceased. The administration of the ESTATE CAROL LEE IRELAND, deceased, whose date of death was 04/12/2023, is pending in the Circuit Court for Volusia County, Florida, Probate Division, the address of which is P.O. Box 6043, DeLand, Florida 327216043. The names and addresses of the personal representative and the personal representative’s attorney are set forth below. All creditors of the decedent and other persons having claims or demands against decedent’s estate on whom a copy of this notice is required to be served must file their claims with this court ON OR BEFORE THE LATER OF 3 MONTHS AFTER THE TIME OF THE FIRST PUBLICATION OF THIS NOTICE OR 30 DAYS AFTER THE DATE OF SERVICE OF A COPY OF THIS NOTICE ON THEM. All other creditors of the decedent and other persons having claims or demands against decedent’s estate must file their claims with this court WITHIN 3 MONTHS AFTER THE DATE OF THE FIRST PUBLICATION OF THIS NOTICE. ALL CLAIMS NOT FILED WITHIN THE TIME PERIODS SET FORTH IN FLORIDA STATUTES SECTION 733.702 WILL BE FOREVER BARRED. NOTWITHSTANDING THE TIME PERIODS SET FORTH ABOVE, ANY CLAIM FILED TWO (2) YEARS OR MORE AFTER THE DECEDENT’S DATE OF DEATH IS BARRED. The date of first publication of this notice is June 8, 2023.

LOUISE ANN IRELAND Personal Representative 8855 SW Fishermans Wharf Dr. Stuart, FL 34997 ADAM D. WARREN Florida Bar No. 940501 Hawkins, Hawkins & Burt, LLP 501 South Ridgewood Avenue Daytona Beach, Florida 32114 adamwarren@hawkinsandburt.com laura@hawkinsandburt.com June 8, 15, 2023 23-00105I

County, Florida, Probate Division, the address of which is 101 North Alabama Avenue, DeLand, FL 32724. The names and addresses of the petitioner/personal representative and the petitioners/personal representatives attorney are set forth below.

All creditors of the decedent and other persons having claims or demands against decedent’s estate, including unmatured, contingent or unliquidated claims, on whom a copy of this notice is served must file their claims with this court WITHIN THE LATER OF 3 MONTHS AFTER THE DATE OF THE FIRST PUBLICATION OF THIS NOTICE OR 30 DAYS AFTER THE DATE OF SERVICE OF A COPY OF THIS NOTICE ON THEM. All other creditors of the decedent and other persons having claims or demands against decedent’s estate, including unmatured, contingent or unliquidated claims, must file their claims with this court WITHIN 3 MONTHS AFTER THE DATE OF THE FIRST PUBLICATION OF THIS NOTICE. ALL CLAIMS NOT SO FILED WILL BE FOREVER BARRED The date of first publication of this Notice is June 8, 2023. Keith Lessard, Petitioner

Address: 100 Timer Swamp Road Hampton, NH 03842

Attorney for Petitioner/Personal Representative: /s/ Michael J. Heath Michael J. Heath, Esq. Attorney for Petitioner 167 108th Avenue, Treasure Island, FL 33706 Florida Bar #0010419, SPN 02642718 Phone 727.360.2771 Fax 727.360.8980

June 8, 15, 2023 23-00107I

ObserverLocalNews.com THE OBSERVER | THURSDAY, JUNE 15, 2023 9B SECOND INSERTION NOTICE OF PUBLIC SALE The following personal property of Patrick Freeze will on 27th day of June 2023, at 10:00 a.m., on property at 955 South Nova Road, Lot #28, Ormond Beach, Volusia County, Florida 32174, in Ormond Beach Oasis, be sold for cash to satisfy storage fees in accordance with Florida Statutes, Section 715.109: Year/Make: 1971 DAND Mobile Home VIN #: 581 Title #: 4377726 And All Other Personal Property Therein June 8, 15, 2023 23-00077V FIRST INSERTION NOTICE OF PUBLIC SALE Notice is hereby given that on dates below these vehicles will be sold at public sale on the date listed below at 10AM for monies owed on vehicle repair and storage cost pursuant to Florida Statutes 713.585 or Florida Statutes 713.78. Please note, parties claiming interest have right to a hearing prior to the date of sale with the Clerk of Courts as reflected in the notice. The owner has the right to recover possession of the vehicle without judicial proceedings as pursuant to Florida Statute 559.917. Any proceeds recovered from the sale of the vehicle over the amount of the lien will be deposited clerk of the court for disposition upon court order. “No Title Guaranteed, A Buyer Fee May Apply” at 10:00 AM 07/17/23 Two Wheel Technology LLC 815 N Ridgewood Ave Daytona Beach, FL 32114 2003 SUZI JS1GW71A432106662 $3,256.55 June 15, 2023 23-00080V FIRST INSERTION Notice Under Fictitious Name Law According to Florida Statute Number 865.09 NOTICE IS HEREBY GIVEN that the undersigned, desiring to engage in business under the Fictitious Name of Solera Secured located at 880 Airport Road, Suite 110, in the City of Ormond Beach, Volusia County, FL 32174 intends to register the said name with the Division of Corporations of the Department of State, Tallahassee, Florida. Dated this 13th day of June, 2023 Ali Babazadeh June 8, 2023 23-00081V SECOND INSERTION NOTICE TO CREDITORS IN THE CIRCUIT COURT FOR VOLUSIA COUNTY, FLORIDA PROBATE DIVISION File No. 2023 11056 PRDL Division 10 IN RE: ESTATE OF DANIEL JOHN HAVILL, Deceased. The administration of the estate of DANIEL JOHN HAVILL, deceased, whose date of death was March 6, 2023, is pending in the Circuit Court for Volusia County, Florida, Probate Division, the address of which is Post Office Box 6043, DeLand, FL 32721. The names and addresses of the personal representative and the personal representative’s attorney are set forth below. All creditors of the decedent and other persons having claims or demands against decedent’s estate, on whom a copy of this notice is required to be served, must file their claims with this court
THE LATER OF 3 MONTHS AF-
THE TIME
THE FIRST PUBLI-
THIS
30 DAYS
THE DATE
THIS
TICE.
ON OR BEFORE
TER
OF
CATION OF
NOTICE OR
AFTER
OF SERVICE OF A COPY OF
NOTICE ON THEM. All other creditors of the decedent and other persons having claims or demands against decedent’s estate must file their claims with this court WITHIN 3 MONTHS AFTER THE DATE OF THE FIRST PUBLICATION OF THIS NO -
ALL CLAIMS NOT FILED WITHIN THE TIME PERIODS SET FORTH
SECOND INSERTION NOTICE TO CREDITORS IN THE CIRCUIT COURT FOR VOLUSIA COUNTY, FLORIDA PROBATE DIVISION File No. 2023 11006 PRDL Division 10 IN RE: ESTATE OF ROBERT L. GANUNG A/K/A ROBERT L. GANUNG, SR. Deceased. The administration of the estate of ROBERT L. GANUNG a/k/a ROBERT L. GANUNG, SR., deceased, whose date of death was February 1, 2023, is pending in the Circuit Court for VOLUSIA County, Florida, Probate Division, the address of which is Post Office Box 6043, DeLand, FL 32121. The names and addresses of the personal representative and the personal representative’s attorney are set forth below. All creditors of the decedent and other persons having claims or demands against decedent’s estate on whom a copy of this notice is required to be served must file their claims with this court ON OR BEFORE THE LATER OF 3 MONTHS AFTER THE TIME OF THE FIRST PUBLICATION OF THIS NOTICE OR 30 DAYS AFTER THE DATE OF SERVICE OF A COPY OF THIS NOTICE ON THEM. All other creditors of the decedent and other persons having claims or demands against decedent’s estate must file their claims with this court WITHIN 3 MONTHS AFTER THE DATE OF THE FIRST PUBLICATION OF THIS NOTICE. ALL CLAIMS NOT FILED WITHIN THE TIME PERIODS SET FORTH IN FLORIDA STATUTES SECTION 733.702 WILL BE FOREVER BARRED. NOTWITHSTANDING THE TIME PERIODS SET FORTH ABOVE, ANY CLAIM FILED TWO (2) YEARS OR MORE AFTER THE DECEDENT’S DATE OF DEATH IS BARRED. The date of first publication of this notice is June 8, 2023. Personal Representative: DONNA J. ORNSTEIN 40 Lake Shore Drive South Salem, New York 10590 Attorney for Personal Representative: GEORGE S. PAPPAS, Attorney Florida Bar Number: 224642 PAPPAS & RUSSELL PA 213 Silver Beach Avenue Daytona Beach, FL 32118 Telephone: (386) 254-2941 Fax: (386) 238-0350 E-Mail: gpappas@pappasrussell.com Secondary: jr@pappasrussell.com June 8, 15, 2023 23-00106I SECOND INSERTION NOTICE TO CREDITORS IN THE CIRCUIT COURT OF THE SEVENTH JUDICIAL CIRCUIT, IN AND FOR VOLUSIA COUNTY, FLORIDA PROBATE DIVISION File # 2023 11403 PRDL IN RE: THE ESTATE OF KENNETH RICHARD LESSARD, Deceased. The administration of the Estate of Kenneth Richard Lessard, deceased, File Number 2023 11403 PRDL, is pending in the Circuit Court for Volusia
FLORIDA PROBATE DIVISION FILE NO.: 2023 11133 PRDL DIVISION: 10 IN RE: ESTATE OF CAIDEN JOSEF PATTON, Deceased. The administration of the Estate of Caiden Josef Patton, deceased, whose date of death was March 16, 2023, is pending in the Circuit Court for Volusia County, Florida, Probate Division, the address of which is 101 N. Alabama Ave, DeLand, FL 32724. The names and addresses of the personal representative and the personal representative’s attorney are set forth below. All creditors of the Decedent and other persons having claims or demands against Decedent’s estate on whom a copy of this notice is required to be served must file their claims with this court WITHIN THE LATER OF 3 MONTHS AFTER THE TIME OF THE FIRST PUBLICATION OF THIS NOTICE OR 30 DAYS AFTER THE DATE OF SERVICE OF A COPY OF THIS NOTICE ON THEM. All other creditors of the Decedent and other persons having claims or demands against Decedent’s estate must file their claims with this court WITHIN 3 MONTHS AFTER THE DATE OF THE FIRST PUBLICATION OF THIS NOTICE. ALL CLAIMS NOT FILED WITHIN THE TIME PERIODS SET FORTH IN SECTION 733.702 OF THE FLORIDA PROBATE CODE WILL BE FOREVER BARRED. NOTWITHSTANDING THE TIME PERIODS SET FORTH ABOVE, ANY CLAIM FILED TWO (2) YEARS OR MORE AFTER THE DECEDENT’S DATE OF DEATH IS BARRED. The date of first publication of this notice is June 15, 2023. Personal Representative: Kimberly Patton c/o: Bennett Jacobs & Adams, P.A. Post Office Box 3300 Tampa, Florida 33601 Attorney for Personal Representative: Linda Muralt, Esquire Florida Bar No.: 0031129 Bennett Jacobs & Adams, P.A. Post Office Box 3300 Tampa, Florida 33601 Telephone: (813) 272-1400 Facsimile: (866) 844-4703 E-mail: LMuralt@bja-law.com June 15, 22, 2023 23-00108I FIRST INSERTION NOTICE TO CREDITORS IN THE CIRCUIT COURT OF THE SEVENTH JUDICIAL CIRCUIT IN AND FOR VOLUSIA COUNTY, FLORIDA PROBATE DIVISION FILE NO.: 2022 12351 PRDL DIVISION: 10 IN RE: ESTATE OF KRISTINA WATSON, Deceased. The administration of the Estate of Kristina Watson, deceased, whose date of death was February 17, 2020, is pending in the Circuit Court for Volusia County, Florida, Probate Division, the address of which is 101 N. Alabama Ave., Deland, FL 32724. The names and addresses of the personal representative and the personal representative’s attorney are set forth below. All creditors of the Decedent and other persons having claims or demands against Decedent’s estate on whom a copy of this notice is required to be served must file their claims with this court WITHIN THE LATER OF 3 MONTHS AFTER THE TIME OF THE FIRST PUBLICATION OF THIS NOTICE OR 30 DAYS AFTER THE DATE OF SERVICE OF A COPY OF THIS NOTICE ON THEM. All other creditors of the Decedent and other persons having claims or demands against Decedent’s estate must file their claims with this court WITHIN 3 MONTHS AFTER THE DATE OF THE FIRST PUBLICATION OF THIS NOTICE. ALL CLAIMS NOT FILED WITHIN THE TIME PERIODS SET FORTH IN SECTION 733.702 OF THE FLORIDA PROBATE CODE WILL BE FOREVER BARRED. NOTWITHSTANDING THE TIME PERIODS SET FORTH ABOVE, ANY CLAIM FILED TWO (2) YEARS OR MORE AFTER THE DECEDENT’S DATE OF DEATH IS BARRED The date of first publication of this notice is June 15, 2023. Personal Representative: Kenneth Moyer c/o: Bennett Jacobs & Adams, P.A. Post Office Box 3300 Tampa, Florida 33601 Attorney for Personal Representative: Linda Muralt, Esquire Florida Bar No.: 0031129 Bennett Jacobs & Adams, P.A. Post Office Box 3300 Tampa, Florida 33601 Telephone: (813) 272-1400 Facsimile: (866) 844-4703 E-mail: LMuralt@bja-law.com June 15, 22, 2023 23-00109I FIRST INSERTION NOTICE TO CREDITORS (summary administration) IN THE CIRCUIT COURT FOR VOLUSIA COUNTY, FLORIDA PROBATE DIVISION File No. 2023 10777 PRDL Division 10 IN RE: ESTATE OF SILVIA L. COCHRAN, aka SILVIA LANE COCHRAN Deceased. TO ALL PERSONS HAVING CLAIMS OR DEMANDS AGAINST THE ABOVE ESTATE: You are hereby notified that an Order of Summary Administration has been entered in the estate of SILVIA L. COCHRAN, also known as SILVIA LANE COCHRAN, deceased, File Number 2023 10777 PRDL by the Circuit Court for Volusia County, Florida, Probate Division, the address of which is Post Office Box 6043, Deland, FL 32721; that the decedent’s date of death was January 15, 2023; that the total value of the estate is $0.00 and that the names and addresses of those to whom it has been assigned by such order are: Name Address Creditors: None known Beneficiaries: FRANK LEWIS,
Attorney for Person Giving Notice: W. Denis Shelley Attorney for Petitioners Email: shelley@legacylaw313.com Secondary Email: linda@legacylaw313.com Florida Bar No. 273872 Legacy Law Associates, P.L. 313 S. Palmetto Avenue Daytona Beach, FL 32114 Telephone: (386) 252-2531 June 15, 22, 2023 23-00110I FIRST INSERTION NOTICE TO CREDITORS IN THE CIRCUIT COURT FOR VOLUSIA COUNTY, FLORIDA PROBATE DIVISION File No. 2023 11100 PRDK Division 10 IN RE: ESTATE OF GRACE AKERS, aka GRACE S. AKERS, Deceased. The administration of the estate of Grace Akers, also known as Grace S. Akers, deceased, whose date of death was March 11, 2023, is pending in the Circuit Court for Volusia County, Florida, Probate Division, the address of which is Post Office Box 6043, DeLand, FL 32721. The names and addresses of the personal representative and the personal representative’s attorney are set forth below. All creditors of the decedent and other persons having claims or demands against decedent’s estate on whom a copy of this notice is required to be served must file their claims with this court ON OR BEFORE THE LATER OF 3 MONTHS AFTER THE TIME OF THE FIRST PUBLICATION OF THIS NOTICE OR 30 DAYS AFTER THE DATE OF SERVICE OF A COPY OF THIS NOTICE ON THEM. All other creditors of the decedent and other persons having claims or demands against decedent’s estate must file their claims with this court WITHIN 3 MONTHS AFTER THE DATE OF THE FIRST PUBLICATION OF THIS NOTICE. ALL CLAIMS NOT FILED WITHIN THE TIME PERIODS SET FORTH IN FLORIDA STATUTES SECTION 733.702 WILL BE FOREVER BARRED. NOTWITHSTANDING THE TIME PERIODS SET FORTH ABOVE, ANY CLAIM FILED TWO (2) YEARS OR MORE AFTER THE DECEDENT’S DATE OF DEATH IS BARRED. The date of first publication of this notice is June 15, 2023. Personal Representative: Scott L. Landwehr c/o Legacy Law Associates, P.L. 313 South Palmetto Avenue Daytona Beach, FL 32114 Attorney for Personal Representative: W. Denis Shelley Attorney for Petitioner Florida Bar Number: 273872 Legacy Law Associates, P.L. 313 South Palmetto Avenue Daytona Beach, FL 32114 Telephone: (386) 252-2531 Fax: (386) 258-0392 E-Mail: shelley@legacylaw313.com Secondary E-Mail: linda@legacylaw313.com June 15, 22, 2023 23-00111I
the personal representative and the personal representative’s attorney are set forth below. All creditors of the decedent and other persons having claims or demands against decedent’s estate, on whom a copy of this notice is required to be served, must file their claims with this court ON OR BEFORE THE LATER OF 3 MONTHS AFTER THE TIME OF THE FIRST PUBLICATION OF THIS NOTICE OR 30 DAYS AFTER THE DATE OF SERVICE OF A COPY OF THIS NOTICE ON THEM. All other creditors of the decedent and other persons having claims or demands against decedent’s estate must file their claims with this court WITHIN 3 MONTHS AFTER THE DATE OF THE FIRST PUBLICATION OF THIS NOTICE. ALL CLAIMS NOT FILED WITHIN THE TIME PERIODS SET FORTH IN FLORIDA STATUTES SECTION 733.702 WILL BE FOREVER BARRED. NOTWITHSTANDING THE TIME PERIOD SET FORTH ABOVE, ANY CLAIM FILED TWO (2) YEARS OR MORE AFTER THE DECEDENT’S DATE OF DEATH IS BARRED. The date of first publication of this notice is: June 15, 2023. Signed on this 9th day of June, 2023. IRIS TONI NEUBERT Personal Representative Siebenhausergasse 11 64372 Ober-Ramstadt, Germany ROBERT KIT KOREY, ESQUIRE Attorney for Personal Representative Florida Bar No. 147787 ROBERT KIT KOREY, P. A. 595 W. Granada Blvd., Suite A Ormond Beach, FL 32174 Telephone: (386) 677-3431 Email: Kit@koreylawpa.com Secondary Email: Michele@koreylawpa.com June 15, 22, 2023 23-00112I FIRST INSERTION NOTICE TO CREDITORS IN THE CIRCUIT COURT FOR VOLUSIA COUNTY, FLORIDA PROBATE DIVISION Case No.: 2023-10849-PRDL IN RE: ESTATE OF JAMES C. DERRY DECEASED. The administration of the estate of JAMES C. DERRY deceased, File No. 2023-10849PRDL is pending in the Circuit Court for Volusia County, Probate Division, 101 North Alabama Avenue, DeLand, FL 32724. The name and address of the Personal Representative and the Personal Representative’s attorney are set forth below. ALL CREDITORS ARE NOTIFIED THAT: All creditors of the Decedent having claims or demands against Decedent’s estate on whom a copy of this Notice is served within three months after the date of the first publication of this Notice MUST FILE THEIR CLAIMS WITH THIS COURT WITHIN THE LATER OF THREE MONTHS AFTER THE DATE OF THE FIRST PUBLICATION OF THIS NOTICE OR THIRTY DAYS AFTER THE DATE OF SERVICE OF A COPY OF THIS NOTICE ON THEM. ALL CLAIMS AND DEMANDS NOT SO FILED WILL BE FOREVER BARRED. The date of the first publication of this Notice is Thursday, June 15, 2023. Personal Representative: David A. Derry 1485 N. 175E Warsaw, IN 46582 Attorney for Personal Representative: Margot Pequignot, Esquire Margot Pequignot, P.A. P.O. Box 2497 Largo, FL 33779-2497 (727) 518-7330 marpeq@aol.com SPN 163102/FBN 0319155 June 15, 22, 2023 23-00113I FIRST INSERTION NOTICE TO CREDITORS IN THE CIRCUIT COURT FOR VOLUSIA COUNTY, FLORIDA PROBATE DIVISION File No. 2023 10448 PRDL Division 10 IN RE: ESTATE OF CHERI S. CHAMBERS, Deceased. The administration of the estate of CHERI S. CHAMBERS, deceased, whose date of death was November 11, 2022, is pending in the Circuit Court for Volusia County, Florida, Probate Division, the address of which is Post Office Box 6043, DeLand, FL 32721. The names and addresses of the personal representative and the personal representative’s attorney are set forth below. All creditors of the decedent and other persons having claims or demands against decedent’s estate, on whom a copy of this notice is required to be served, must file their claims with this court ON OR BEFORE THE LATER OF 3 MONTHS AFTER THE TIME OF THE FIRST PUBLICATION OF THIS NOTICE OR 30 DAYS AFTER THE DATE OF SERVICE OF A COPY OF THIS NOTICE ON THEM. All other creditors of the decedent and other persons having claims or demands against decedent’s estate must file their claims with this court WITHIN 3 MONTHS AFTER THE DATE OF THE FIRST PUBLICATION OF THIS NOTICE. ALL CLAIMS NOT FILED WITHIN THE TIME PERIODS SET FORTH IN FLORIDA STATUTES SECTION 733.702 WILL BE FOREVER BARRED. NOTWITHSTANDING THE TIME PERIOD SET FORTH ABOVE, ANY CLAIM FILED TWO (2) YEARS OR MORE AFTER THE DECEDENT’S DATE OF DEATH IS BARRED. The date of first publication of this notice is: June 15, 2023. JAMES EDWARD CHAMBERS Personal Representative c/o Legacy Law Associates, P.L. 313 South Palmetto Avenue Daytona Beach, FL 32114 Edward A. Dimayuga Attorney for Personal Representative Florida Bar No. 50634 Legacy Law Associates, P.L. 313 S. Palmetto Avenue Daytona Beach, FL 32114 Telephone: (386) 252-2531 Email: Ed@LegacyLaw313.com Secondary Email: paralegal@LegacyLaw313.com June 15, 22, 2023 23-00114I VOLUSIA COUNTY LEGAL NOTICES SUBSEQUENT INSERTIONS OFFICIAL COURT HOUSE WEBSITES: FLAGLER COUNTY VOLUSIA COUNTY flaglerclerk.com clerk.org A NEW & AFFORDABLE OPTION PUBLIC NOTICES The Palm Coast & Ormond Beach Observers now qualify to publish public and legal notices. For rates and information, call 386-447-9723 A NEW & AFFORDABLE OPTION PUBLIC NOTICES The Palm Coast & Ormond Beach Observers now qualify to publish public and legal notices. For rates and information, call 386-447-9723 SUBSCRIBE TODAY The Observer delivered to your driveway Call 386.447.9723 TAKE NOTICE CALL 386-447-7923 TO PLACE YOUR NOTICE TODAY SAVE TIME Email your Legal Notice legal@palmcoastobserver.com SAVE TIME Email your Legal Notice legal@palmcoastobserver.com

INFORMATION & RATES: 386-447-9723

redpages@palmcoastobserver.com palmcoastobserver.com/redpages

The Palm Coast Observer reserves the right to classify and edit copy, or to reject or cancel an advertisement at any time. Corrections after first insertion only.

*All ads are subject to the approval of the Publisher.

*It is the responsibility of the party placing any ad for publication in the Palm Coast Observer to meet all applicable legal requirements in connection with the ad such as compliance with towncodes in first obtaining an occupational license for business, permitted home occupation, or residential rental property.

stu Items Under $200 10 FISHING Poles $100 for all or $10 ea. full tackle box $10 386-283-9782 3 SECTIONAL cabinet w/ shelves, light wood, 4’ high, ex. cond $150 386-676-1363 SELL YOUR STUFF HERE! DINING ROOM Hutch, Dark wood Spanish motif $185 386-852-1148

©2023 Universal Uclick

Under $200

AUTOMATIC INFLATE/DEFLATE queen size air mattress, ex. cond $40, Hamilton Beach microwave $40 386-346-5117

MASSENA 2 cham-

utes in box $200 386-441-0069

CROCS FLAT ballerina aqua size 9 new $39.99; Swedish clogs vintage size 36 $50 (386)283-7172

EPSON WORKFORCE Pro WF

3720 Printer, still in box, never used $200 386-225-0487

PAIR OF comfy, chunky chairs w/ottoman. Solid color, near new! $200 OBO 386-338-4319

RUBBERMAID COMMERCIAL cleaning bucket w/mop $35, wheelbarrow $35, elephant ear/snake plant $1 and up 814-574-6387

SOFA CHAIR, ottoman, coffee table, white wicker, upholstered $200 386-615-8230

TROLLING MOTOR Minn Kota

Edge Freshwater Hand-Control

Bow-Mount $165 (386) 237-8207

This week’s Crossword answers Puzzle One Solution: “You have to eat, sleep and breathe your passion, and fight for perfection every step of the way.” Dancer Abby Lee Miller Puzzle Two Solution: “I ... like women who get emotional about babies and puppies. ... The woman you marry should have a really soft side.” Chris Evans Puzzle Three Solution: “Our flag is our national ensign. ... Listen to it! Every star has a tongue, every stripe is articulate.” Robert C. Winthrop ©2023 NEA, Inc.

Items Under $200

TARGUS TSB 212 Laptop Backpack. New, tags, 12 compartments, warranty, $65 (386) 316-9990.

TV/FIREPLACE, GREAT condition, can send pictures, dark brown $150 386-793-3155

WOOF! L pet kennel $25, 2drawer le cab. $15, birdhouse $30 (386) 503-2256

& 6/17 8AM-2PM, moving sale. Furniture, kitchen, baby items, some collectibles. Everything must go! 4 SENOR PLACE, 6/17 & 6/18, 8am-2pm, tools, household items, furniture General Merchandise POWER TOOLS drills, saws, routers, band saw, clamps and much more 12" planer brand new (386) 793-4406 ROUND 44” glass tabletop kitchen table, 4 rolling chairs $100, 72” glasstop dining table w/marble base, 8 cream, fabric, parsons chairs $175, 2 twin beds w/frames, all new coverings, headboards, 2 wall pictures, oor lamp $100, 3 pc of ce desk set, desk-6 drawers, hutch, shelf $75 386-679-2605 jo bs Help Wanted FACILITIES TEAM Member Evening Custodian needed PT for church facility. Download an application from our website or email resume to fbcmail@fbcpc.org www.fbcpc.org/jobs Help Wanted CUSTOM HOME Builder Painters Wanted Full-time positions available immediately. Guaranteed 40 hours a week. Great company and great pay based on experience and work ethic. Offering top pay in the local industry. All work in Flagler County. Must have transportation and valid driver's license. Please send resumes to custombuildpainters@gmail.com. GET RESULTS! PLACE YOUR AD ONLINE TODAY Visit the RED PAGES PalmCoastObserver.com /RedPages HELP WANTED Part-Time C Customer Service/ Unarmed Security No experience necessary, paid training. Retirees welcome! Call 386-333-0361 JOB FAIR AT THE PALM COAST COMMUNITY CENTER 305 Palm Coast Pkwy NE Waterfront Room June 16th 11am-4pm Full-Time & Part-Time Positions Available Scan the QR Code to see all Open Positions: MUST: Bring your Resume Business Attire Required An Equal Opportunity Employer M/F/D/V & Drug Free/Smoke Free Workplace Criminal Background Checks/Drug Screens (certain positions) and References Performed PARISH BUSINESS ManagerPosition responsible for accounts payable, payroll, nancial statements, parish inventory and bulk mailings. Successful candidate will be experienced with Microsoft Of ce 365 software. Experience with ACS church software a plus. 18 hrs/week. $14-$16/hr based on experience. Send resume to: info@stechurch.org. PERSON NEEDED who has a 6- Pack Captain’s License to operate boat for daily shing trips in Palm Coast. 304-416-3704 or email wscotthutchison@gmail.com real esta te Condos/Apts. for Sale PALM CLUB CONDO FOR Sale By Owner Ground floor, pool view, 2 bed, 2 bath, stainless appliances including refrigerator, stove, microwave, dishwasher, sink, faucet, clothes washer & dryer, plus central heating and air conditioning. All above 1 year old since installed. For viewing call Norm and Pam Adams 386-446-0664 386-864-3301 40 Clubhouse Drive, unit 104 A Accepting bids starting 5/25/23 Rentals Wanted EXTREMELY CLEAN, quiet adult male seeks room, Palm Coast. References available, cash payment 386-225-5322 or 386-215-1904 hom e serv ice s Cleaning CLEAN & Serene Services Clean house;Clear mind: Quality cleaning services to help you have peace of mind. (386) 237-4820 15% DISCOUNT FOR 4-WEEK RUN Color background: $5 per week Ad border: as low as $3 per week PLACE YOUR AD: Call: 386-447-9723 Email: RedPages@ PalmCoastObserver.com Online: PalmCoastObserver.com /RedPages RED PAGES AD RATES FIND BUYERS & SELLERS HERE! First 15 words ................ $17.50 per week Each add’l word .....50¢ Professional Services CERTIFIED CNA, HHA, Housekeeper, 10+ years experience, excellent references 386-225-0487 Travel CHARTER SAILING Adventures Providing Charter Sailing Services along the Intracoastal, mainly from Palm Coast to St. Augustine in a 41' Island Packet. A ve hour trip from Palm Coast to St. Augustine, stopping at the Conch Marina for lunch(on your own). Shopping time available and a return trip by car to Palm coast included. 7:00 am-6:00 pm. Snacks and drinks available for free along the way. For details, email: FollowingEpsilon@gmail.com $139.00 per person, 4 people needed for party. Private chartering available. Epsilon Sailing Adventures, LLC USCG Licensed Captain Based out of Yacht Harbor Village Marina (669) 255-3399 FIND BUYERS & SELLERS HERE! 386-447-9723 PalmCoastObserver.com/RedPages GREAT FINDS LOCATED HERE!

DEADLINES: CLEANING SERVICES SINCE 2003 Small to Large - ANY Detailed Job is Available! Now Offering Room & Area Rug Carpet Cleaning! Free Estimates All Supplies Furnished 10% OFF 1st Cleaning 404127

Garage/ Moving/ Estate Sales

246A CORAL REEF COURT N, 6/16

PAVERSTRAVERTINEANDMORE.COM peekers’ place You’re only cheating yourself. This week’s Celebrity Cipher answers This week’s Sudoku answers

Cash, Check or Credit Card 17 Old Kings Road North Palm Coast, FL 32137 386.446.1566 Owner Dominic DiGirolamo

- Monday at Noon Cleaning Barber 404128

Voted Best Around 5 Years in a Row 336409

No Appointment Necessary Mon.-Fri. 8-5 • Saturday 9-1

Monday 8am-7pm - Tuesday-Friday 8am-5pm Saturday & Sunday - Closed

Concrete 386-446-1655 sdcminc@gmail.com 5054 N. Ocean Shore Blvd. Palm Coast 404467

NEW CONCRETE OR CONCRETE REPAIR Quality Work at Affordable Prices S & D Construction and Maintenance, Inc. Concrete • Pavers • Travertine • Fire Pits • and More Licensed & Insured FC 10796

for where you live. Here! THURSDAY, JUNE 15, 2023
RED PAGES Made
Classifieds
Service Directory - Friday at 3PM • PAYMENT:
Notice: All real estate advertised herein is subject to the Federal Fair Housing Act, which makes it illegal to advertise any preference, limitation, or discrimination because of race, color, religion, sex, handicap, familial status, or national origin, or intention to make any such preference, limitation or discrimination. All persons are hereby informed that all dwellings advertised are available on an equal opportunity basis. ELIZABETH JONES TIRED OF COMING HOME TO A MESSY HOUSE? NEED YOUR ROOMS/CLOSETS ORGANIZED? I WILL MAKE YOUR LIFE EASIER SO YOU CAN ENJOY YOUR DAY! Residential/Commercial Licensed References available Call: 386-569-6151
Items
BACCARAT
pagne
COFFEE TABLE & end tables, black/brown, laminate, good for lania, can send pics $125 443-534-8500
COLLECTIBLE GERMAN Beer
Steins $30 and up, Hummel Figurines $30 and up 386-445-6533
ObserverLocalNews.com THE OBSERVER | THURSDAY, JUNE 15, 2023 11B 404129 LICENSE # FC11803 / # GAR13041803 Serving Palm Coast for over 20 years Doors “God Bless You” Garage DoorsAtkinsStudios WE CHOMP HIGH PRICES! 404468 FIRST HOME ELECTRIC, LLC. SUPERIOR IDEAS SUPERIOR SOLUTIONS LIGHTING & ELECTRICAL 904.587.9237 License # ER 13016047 firsthomeelectric@gmail.com Electrical repairs & trouble shooting - EV Charges - Generator transfer switches - Spa & Shed Hook Ups - Remodels, Upgrades & new installations Lighting designs & Consultations - Smart Switches, Dimmers & Remotes - Lighting Automation & control. UNDER CABINET LIGHTING LED TAPE LIGHTING - SCONCES SECURITY & LANDSCAPE LIGHTING Advanced Task - accent - ambient lighting solutions Lutron PRO Caseta Residential Contractor 404470 Health 364198 XNLV20197 404130 PF-SPAD0414151522(100%) ADVERTISER:ALLCOUNTIESINSURANCEAPROOFCREATED AT:4/20/20169:35:47AM SALESPERSON:PF701 NEXTRUNDATE:04/21/16 PROOFDUE:04/22/1613:59:55 PUBLICATION:SPEC PROOFO.K.BY:___________________________O.K.WITHCORRECTIONSBY:________________________ PLEASEREADCAREFULLY•SUBMITCORRECTIONSONLINE AllCountiesInsuranceAgency & TrafficSchool Winn-DixieShoppingPlaza-Route100 www.aciaonline.com Phone386-439-9254 364199 Auto • Home • Condo • Motorcycle • Flood • Renters RV • Boat • Commercial Auto • Property 99 Old Kings Rd. S. Suite 3 Central Florida Retina Center Phone 386-439-9254 www.aciaonline.com PF-SPAD0414151522(100%) ADVERTISER:ALLCOUNTIESINSURANCEAPROOFCREATED AT:4/20/20169:35:47AM SALESPERSON:PF701 NEXTRUNDATE:04/21/16 PROOFDUE:04/22/1613:59:55 PUBLICATION:SPEC PROOFO.K.BY:___________________________O.K.WITHCORRECTIONSBY:________________________ PLEASEREADCAREFULLY•SUBMITCORRECTIONSONLINE PF-SPAD0414151522 AllCountiesInsuranceAgency TrafficSchool Winn-DixieShoppingPlaza-Route100 www.aciaonline.com Phone386-439-9254 CALL fora Quote&Ask AboutMoney Saving Discounts! XNLV20199 404131 Deanna Kershner Independent Licensed Agent 386.931.3414 Deanna.Kershner@yahoo.com HMO • PPO • SUPPLEMENTS PART D • DENTAL Medicare Plan Options Helping You Select the Medicare Plan That is Right For You! NO COST OR OBLIGATION 364200 XNLV20200 404132369733 Landscaping & Lawn 404741 LAWN GIRL & CO LLC Professional Landscape Design & Maintenance 386-437-4087 • Trim Shrubs & Hedges • Mulch & Stone • Clean Out Specialists Licensed & Insured Freshen Up Your Yard for 2023! Lawn Care Quin’s Lawn Care 386•262•8593 Residential Licensed Insured 1quinslawncare@gmail.com Palm/Tree Trimming • Hedges • Shrubs • Sod Install Mulch/Rock/Dirt Flower Bed Debris Clean Up • Yard Clean Out Hauling/Junk Removal Commercial 404473 Backyard Clean Up • Hedge Trimming • Weed Maintenance Palm Tree Trimming • Mulch/Rock Installation Clean Outs • Gardening • Pressure Washing Ask for “BIG DAC” 386-215-2385 YARD MASTERS LLD Insured Residential Licensed Commercial 404133 Mortgage 404477 Julie Cavellero #1016535 Phone number 386-309-9922, X100 Email - Julie@PatrioticMortgage.com NMLS#1773012 5 Utility Dr Suite 2F, Palm Coast FL 32137 www.patrioticmortgage.com Services, LLC #1773012 REVERSE MORTGAGE SPECIALIST TURN THE EQUITY IN YOUR HOME TO INCOME Painting 404742 WE PAINT HOUSES, POOL DECKS, DRIVEWAYS & DOCKS 386-445-6198 Serving Flagler County Since 1987 We seal cracks & holes Free Estimates Licensed & Insured Plumbing 404134 TERRY’S PLUMBING For All Your Plumbing Needs Serving Flagler County for over 30 years Any Job, Big and Small We do them all 2 Generations Family Owned & Operated Fast, Reliable Service Licensed • Insured Master Plumber CFC1426001 386-439-3191 386-445-3305 404135 Power Washing 405086 Rick's Power Washing Houses · Driveways · Pool Enclosures Siding · Concrete Licensed/Insured & Reliable Call Rick 386-585-5160 Roofing 405085 Roof Leaking? “Specialist In Hard to Find Leaks” Shingle | Tile | Metal | Flat | Re-Roof Structural Repair | Skylights 386.677.9265 State Licensed | Insured CCC1328252 | CBC1254280 CBC ROOFING COMPANY 404743 EZ Roofing Inc. Of Flagler County Residential Roofing Specialist • New Roofs • Repairs • Replacements • FREE Estimates • FREE Roof Inspections & Minor Repairs Insurance Inspections Available Reliable Prompt Service Building Customers For Life! LIC#CCC1331086 386-328-5359 364204 State Certified License CCC1325974 We guarantee Quality *Best Quality* 100% Guaranteed (386) 263-7906 FREE ESTIMATES • 10-YEAR LABOR WARRANTY • NO DEPOSIT • NO PRE-PAYMENTS • 5 STAR BBB-RATING FloridasBestRoofing@gmail.com | www.FloridasBestRoofing.us • TILE • SHINGLE • METAL • FLAT ROOFS • RE-ROOFS • NEW ROOFS • ROOF REPAIRS 404136 404546 ROOF PROBLEMS? Call us for a FREE Estimate 386-347-0366 • Roof Repair • Roof Replacement • Emergency Service • Licensed and Insured LIC#CCC1333989 Whether you need a minor repair or a complete roof replacement, Howard Roofing will guarantee your satisfaction! Screening 404210 Nick Flynn Services (407) 684-1604 Licensed and insured | DreamScreenRepairLLC@gmail.com Facia • Porches • Lanai’s • Screen enclosures • Painting • Gutter Repair’s And so much more... RIGHT ON TARGET OBSERVER RED PAGES Call 386-447-9723 to reserve your ad PalmCoastObserver.com/RedPages GROW YOUR BUSINESS Advertise as low as $40 per week. Call to reserve your ad space: 386-447-9723 PalmCoastObserver.com/RedPages
ObserverLocalNews.com 12B THE OBSERVER | THURSDAY, JUNE 15, 2023 404960-1 IS THE EXCLUSIVE DEALER IN THE COUNTY FOR THIS EVENT! Palm Coast Ford 1150 Palm Coast Pkwy, SW Palm Coast, FL 32137 - (386) 447-3380 Visit Us Online at: PalmCoastFord.com Palm Coast Ford has over 500 vehicles on their lot to dispose of immediately! All you have to do is pay one dollar down (to make it legal) and take over the payments directly from the bank. These are Brand New Ford vehicles plus over 300 Pre-Owned vehicles, brought here courtesy of the bank that Palm Coast Ford has been contracted with to sell immediately. All prices on new or pre-owned vehicles are plus tax, tag and $899 dealer fee. The bank owns these cars, trucks and vans - Palm Coast Ford is the site that have selected to sell them. Remember, THESE ARE NOT BANK REPOS! These are brand new and preowned vehicles shipped here from around the country, made possible by the bank, to dispose of immediately! Bring ONE DOLLAR for the bank and bring your trade to our store! ONE DOLLAR DOWN IS ALL YOU PAY TO TAKE OVER THE PAYMENTS FROM THE BANK! Do you want a $129 payment with $1 down? Do you want a $150 payment with $1 down? Do you want a $199 payment with $1 down? Pick the vehicle that fits your budget! PUBLIC NOTICE IMMEDIATE DISPOSAL SALE OF 500 BANK VEHICLES PAY ONLY ONE DOLLAR DOWN And Take Over Payments From THE BANK! 331450-1 384148-1 3 DAYS ONLY 404466-1

Turn static files into dynamic content formats.

Create a flipbook
Issuu converts static files into: digital portfolios, online yearbooks, online catalogs, digital photo albums and more. Sign up and create your flipbook.