DOWNTOWN NAPA HISTORIC CONTEXT STATEMENT & SURVEY REPORT NAPA, CALIFORNIA [10130]
PREPARED FOR NAPA COMMUNITY REDEVELOPMENT AGENCY
 
    
 
    The Downtown Napa Historic Context Statement & Survey Report is a component of Heritage Napa, a project undertaken by the City of Napa and the Napa Community Redevelopment Agency (NCRA). Work on the Downtown Napa project, funded by the NCRA, included a historic context statement completed in conjunction with an intensive-level architectural survey of the Downtown area in the east central portion of the City of Napa. This work will inform the upcoming Downtown Specific Plan, as well as future preservation planning efforts in the city.
This document presents the history of the Downtown survey area from pre-history to the present, and details the findings of the intensive-level architectural survey. The document identifies important periods, events, themes, and patterns of development, and provides a foundation on which to base the assessment and evaluation of the area’s historic properties.
The Downtown Napa survey area is located on the west bank of the Napa River in the east central portion of the City of Napa. The irregularly-shaped survey area, which corresponds to the Downtown Specific Plan Planning Area, is roughly bounded by the Napa River on the east, Caymus Street on the north, Jefferson Street on the west and Third and Division streets on the south. The Napa Creek runs diagonally through the survey area from approximately the intersection of Clinton and Coombs streets to the juncture of the creek and river near Second and Main streets. Soscol Avenue, located at the eastern edge of the survey area, is a major local thoroughfare. Bridges at First and Third streets and Soscol Avenue provide access across the Napa River to downtown.
The Downtown Napa survey area contains the city’s commercial core, as well as several surrounding neighborhoods: the Oxbow,1 or Cornwall’s Addition, which historically contained a Spanish Town and Chinatown and was located in the northeast portion of the survey area; St. John’s Addition, primarily an Italian residential neighborhood located at the northern survey boundary; the Brown and Walker residential neighborhood located southwest of City Hall; and Napa Abajo/Fuller Park, an affluent residential neighborhood that overlaps with the southern edge of the survey area. Downtown Napa is comprised of several building types: civic and commercial, residential, and industrial. Historically, industrial buildings tended to be clustered south of Third Street, between Main Street and the Napa River, or north of Water Street in the bow of the Napa River. Commercial and residential buildings were not geographically located, but interspersed throughout the Downtown.
1 The term “Oxbow” is a modern term used throughout this document to refer to the portion of Downtown Napa contained within the bend, or oxbow, of the Napa River. This area roughly corresponds to Cornwall’s Addition (1852), and is referenced independent of the commercial core because it experienced different forces driving its development. Although it is not the neighborhood’s historical name, “Oxbow” is used here for consistency with other documents and plans used by the City of Napa.
Downtown Napa survey area and vicinity, with survey area boundaries outlined. Within this area, 57 parcels were selected for documentation on DPR 532 B and 14 parcels were selected for documentation on DPR 523 D forms (see page 3 for details about the survey methodology, and the Appendix for a map of properties included in the intensive-level survey). (Page & Turnbull, October 2009).
 
    The Downtown Napa Historic Context Statement & Survey Report is organized chronologically, with sections that correspond to major periods in Napa’s history from pre-history to the present. The content and organization of the document follows the guidelines of National Register Bulletin No.
15 How to Apply the National Register Criteria for Evaluation; National Register Bulletin No. 16A How to Complete the National Register Registration Form; National Register Bulletin No. 16B How to Complete the National Register Multiple Property Documentation Form; National Register Bulletin No. 24 Guidelines for Local Surveys: A Basis for Preservation Planning2; and Instructions for Recording Historical Resources, which was published by the California Office of Historic Preservation.3
Research for the Downtown Napa Historic Context Statement & Survey Report was gleaned from local and regional repositories. Primary sources included Sanborn Fire Insurance Maps, newspaper articles, city directories, and historic photographs. Secondary sources included numerous books and
2 National Register Bulletins can be found at: http://www.nps.gov/history/nr/publications/bulletins.htm
3 Found at http://ohp.parks.ca.gov/pages/1054/files/manual95.pdf
publications (listed in the bibliography at the end of this document), GIS maps, previous historical reports and survey documentation (see Section II), and internet sources. Information gathered from the public during community workshops was also integrated into the context statement.
For additional information about broad patterns of city development not included in this Downtown Napa document, please refer to the Napa City-Wide Historic Context Statement (1 September 2009).
The intensive-level architectural survey of the Downtown Napa area was completed to identify and document historic resources within the survey area. The term “intensive-level” signifies that the survey was conducted on foot with photographs and basic information recorded for each age-eligible property within the survey area. Archival research was also completed for a select group of properties. GIS maps were produced from parcel data received from the City of Napa in order to analyze the surveyed properties and illustrate concentrations of historic properties. Property types, neighborhood development and use patterns, and architectural styles and characteristics were identified through survey fieldwork. The broad historic development patterns identified in the Napa City-Wide Historic Context Statement also informed the intensive-level architectural survey.
Survey fieldwork was conducted on July 27 and August 3, 2010, by architectural historians for Page & Turnbull who meet the Secretary of the Interior’s Professional Qualifications for Architectural History. After the fieldwork was completed, Page & Turnbull prepared an Excel database in which all surveyed properties were identified; 57 Building, Structure and Object Records (DPR 523B) forms; 1 District Record (DPR 523D) form; and 7 Update Record (DPR 523L) forms. The properties chosen for B forms were selected in consultation with City of Napa Community Redevelopment Agency staff. The selection was based on the potential, deduced from visual observation and background research, that the property might have historical significance. A few properties that had been previously documented on DPR 523 forms (most in 1978) were updated to meet current documentation standards.
The results of the survey are synthesized in section V. Recommendations of this document.
The Downtown Napa Historic Context Statement & Survey Report identifies development patterns and significant properties in the area. The document is organized as follows:
Section II. Existing Surveys, Studies and Reports summarizes previous historic resource survey work in the Downtown Napa survey area.
 Section III. Guidelines for Evaluation provides a definition of each of the major property types found in the survey area (residential, commercial, industrial, and civic/institutional), and guidelines to evaluate the significance and integrity of these properties.
Section IV. Historic Context includes a narrative of the area’s developmental history. This history is broken into eight periods which are defined by events, themes, and development trends. Property types associated with each of the eight periods are identified and analyzed. Analysis includes an architectural description, a list of character-defining features, an evaluation of historic significance, and a summary of integrity considerations.
Section V. Survey Report & Recommendations includes a summary of the intensive-level architectural survey results, recommendations for follow-up work regarding treatment of historic properties, and a discussion of how the survey results should be integrated into the city’s Historic Resources Inventory (HRI) and design review process.
A number of prior surveys were conducted within the boundaries of the Downtown Napa survey area. The following section identifies which surveys and inventories are on file with the City of Napa Planning Division and notes whether these studies include properties in the Downtown Napa project area.
The Historic Resources Inventory (HRI) is the City of Napa’s official register of locally-designated historic resources. The first historic resource inventory survey was conducted within the City of Napa in 1969 and subsequent surveys were conducted in 1978, 1988, 1994, 1995, and 1998. These surveys covered Napa’s central historic core either via a windshield analysis by which more resources were surveyed, but at a lesser level of detail; or an intensive-level survey, which more closely analyzed resources within smaller areas such as the St. John’s and Napa Abajo/Fuller Park neighborhoods. The Cultural Heritage Commission (CHC) has continued to update the HRI to maintain current surveys and document un-surveyed areas, as well as expand the scope and depth of the surveys with the goal of ultimately covering the entire City of Napa. 4
The current HRI was adopted by the Napa City Council in 1997, is regulated by the City’s Historic Preservation Ordinance (Chapter 15.52 of the Napa Municipal Code), and is maintained by the Cultural Heritage Commission (CHC). Over 2,800 individual properties throughout the city are currently listed on the HRI. Properties listed on the HRI may be designated as Landmarks, Neighborhood Conservation Properties, or simply listed as significant. Depending on their Map Score (established by the 1995 Napa City-Wide Survey), properties listed on the HRI are subject to varying levels of design review by the CHC and staff.5
More than 100 properties in the Downtown Napa survey area have been listed in the HRI: 27 with a Map Score of 1, 30 with a Map Score of 2, and 53 with a Map Score of 3. There are also 18 local landmarks within the Downtown Napa survey area.
The 1978 Napa County Historic Resource Survey (1978 Survey) was the first large-scale historic resource survey to be completed in the county, and was prepared for the City and County of Napa by Napa Landmarks Inc. using grant monies from the City and State. Napa Landmarks was founded in 1974 as a city-specific non-profit organization by a group of Napans who were concerned about demolition of some of the city’s historic downtown buildings to make way for new development. In 1986, the group’s focus shifted to a county-wide scale and its name was changed to Napa County Landmarks. Since its inception the organization’s mission has been to protect historic buildings and sites for posterity by advocating public policy, educational programs, and research and technical assistance to support preservation.
4 Napa City Council, “Resolution No. 97-015” (7 January 1997), in City of Napa Planning Department Archives. City of Napa, “Historic Resources Inventory,” <www.cityofnapa.org> (accessed 2 January 2009). “Napa Municipal Code: Title 15. Chapter 15.52: Historic Preservation and Neighborhood Conservation,” http://www.cityofnapa.org/index.php?option=com_content&task=view&id=259&Itemid=350#fifteen52 (accessed 2 January 2009).
5 City of Napa, “Historic Resources Inventory,” <www.cityofnapa.org> (accessed 2 January 2009). City of Napa, “Certificates of Appropriateness,” <www.cityofnapa.org> (accessed 2 January 2009).
The 1978 Survey was one of Napa Landmarks’ first large undertakings. Over 2,500 historic buildings, structures, and places throughout the county were photographed through an initial “windshield survey,” and recorded on a Master List to create an inventory of historic resources. The list was divided by survey district, and a brief historic overview was completed for each area. Official State Historic Resource Inventory forms were completed for some properties, but most were only documented by the Master List. The 1978 Survey also divided the City of Napa into nine survey areas based on historic context and development patterns: Downtown, Napa Abajo, St. John’s, Spencer, West Napa, East Napa, Calistoga Avenue, Alta Heights, and Fuller Park. The 1978 Survey was conducted during the early years of Napa’s preservation movement, and also included recommendations for strengthening the local preservation planning process within Napa County.6 The 1978 Survey was updated a number of times—both formally and informally—by City staff and became the foundation for the City’s Historic Resources Inventory as well as subsequent survey work.
Downtown Napa was one of the primary study areas included in the 1978 Survey, and many properties were found to be significant. 39 properties within the Downtown Napa survey area were documented on Department of Parks and Recreation forms as part of the 1978 Survey; this included properties in the Downtown, Napa Abajo, St. John’s, and Fuller Park survey districts.
The Napa City-Wide Survey was completed in 1995 by San Buenaventura Research Associates of Santa Paula, California, for the City of Napa Planning Department. The windshield survey was completed with the primary goal of producing a digital database of historic resources. The survey included a systematic inventory of all historic resources within the sections of the city urbanized prior to 1950. Resources in other portions of the corporate limits were also identified by the City-Wide Survey, but were not systematically surveyed.7
Buildings were rated according to a 1 to 5 point system called Map Score (MS), with “1” defined as properties eligible for listing in the National Register; “2” as properties eligible for listing as a City Landmark; “3” as properties that are not individually eligible, but contribute to a potential historic district; “4” as ineligible or non-contributing to a historic district; and “5” as not ranked or not visible. The Map Score was derived from a combination of the building’s date of construction, significance/visual quality, and integrity. Each building was given a Visual Evidence of Significance, or VES, score ranging from 1 to 5, with 1 being “Outstanding example of a style or period.” Together the VES score, building’s date of construction, and integrity generated each property’s final Map Score.8
Of the 6,014 properties evaluated in the City-Wide Survey, 2,206 properties were identified as potential contributors to historic districts and 93 properties were identified as potentially individually significant. The survey also identified Historic Resources Planning Areas (HRPAs) with high concentrations of historic resources to inform future planning projects.9 The results and
6 Napa Landmarks, Inc., “Final Report: Napa County Historic Resources Inventory” (Napa: unpublished report, 1 December 1978), in City of Napa Planning Department Archives, 1-11.
7 San Buenaventura Research Associates, “Napa City-Wide Historic Resources Survey: Methodology and Results Report” (Napa: unpublished report, March 1995), in City of Napa Planning Department Archives, 1-3.
8 Ibid., 4-7.
9 Ibid., 9.
methodology of the 1995 City-Wide Survey were adopted by the City Council in 1997 as the updated Historic Resources Inventory, and replaced the 1978 Master List.10
The Napa City-Wide Survey (1995) included the Downtown Napa survey area. More than 100 historic resources were identified in the 1995 City-Wide Survey: 27 with a Map Score of 1, 30 with a Map Score of 2, and 53 with a Map Score of 3. The survey also identified four small Historic Resources Planning Areas in the Downtown Napa area: Downtown North (centered on First and Coombs), Downtown South (centered on Franklin Street between Second and Third), Fuller North (Church Street between Second and Third), and Abajo North (intersection of Third and Division).
In 1996, architectural historian Anne Bloomfield completed a Residential Context Statement for the City of Napa as part of the update of the Cultural and Historical Resources Element of the General Plan. The context statement provided a narrative describing general themes and development patterns for the city, as well as focused descriptions of the history of each of Napa’s nine oldest residential neighborhoods (identified in the 1978 Survey). Bloomfield’s report also provided a discussion of the city’s historic residential architecture and recommendations for designation and treatment of potential historic resources and districts.11 Bloomfield’s report includes a section regarding Downtown Napa; however, because few residences remain in Downtown Napa, the context statement was brief. Commercial, civic and institutional, and industrial properties were not included.
Some resources in the Downtown Napa survey area were individually documented through the Historic Resources Inventory, DPR 523 Forms, Landmark Nominations, or other reports. These documents were completed by a variety of consultants from the 1970s to the present, and can be found in the City of Napa Planning Division archives. A handful of properties along the southern edge of the Downtown Napa survey area were also documented as part of the Napa Abajo/Fuller Park National Register Historic District, which can be found in the district nomination form.
Additionally, the Napa City-Wide Historic Context Statement was completed by Page & Turnbull in September 2009 as part of the Heritage Napa project. The context statement provides a narrative identifying geographic areas, property types, and overarching themes relevant to the history and development of the City of Napa.12
10 Napa City Council, “Resolution No. 97-015” (7 January 1997), in City of Napa Planning Department Archives.
11 Anne Bloomfield, A Residential Context for the Cultural Resources of the City of Napa (prepared for Planning Department, City of Napa, January 1996), 1.
12 Please refer to the City-Wide Historic Context Statement (1 September 2009) for additional information about broad patterns of city development not included in this Downtown Napa document.
The following section reviews themes significant to the developmental history of the Downtown Napa survey area and defines major property types which are representative of these themes. For each property type, the forms, styles, construction types, and significance are described. The section concludes with general guidelines for evaluating each property type for the national, state, and local register.
This document divides the history of Downtown Napa from pre-history to the present into eight time periods or eras based on important events and development trends:
Pre-History & Native Peoples (pre-1800)
Spanish & Mexican Period (1800-1845)
Early American Settlement (1846-1859)
 Victorian Napa (1860-1899)
Early Twentieth Century (1900-1919)
 Prohibition & Depression (1920-1939)
World War II & Post-War Era (1940-1965)
 Modern Napa (1965-present)
Within each era, the following themes are discussed relative to the growth and evolution of the built environment in the Downtown Napa survey area:
Residential Development Commercial Development Industry & Manufacturing Transportation Ethnic & Cultural Diversity
In the Downtown Napa Survey Area, residential development includes primarily single-family dwellings, with only a handful of examples of multiple-family dwellings and apartment buildings. Residential buildings are primarily located at the outskirts of the downtown: at the north on the border of the St. John’s neighborhood; at the northeast in the Oxbow neighborhood; in the south in proximity of Napa Abajo; and to the southwest near the Fuller Park Historic District. Institutional buildings, primarily churches, are located in the residential areas. Historically, schools were also located near the residential areas downtown; however, they are no longer extant. Commercial properties are centrally located downtown, on Main, Brown, and Coombs streets and First, Second, and Third streets. Like the commercial properties, civic buildings tend to be centrally located downtown. Few industrial properties other than the Hatt Building and Complex in the southeast near the Napa River remain downtown. This section does not discuss agricultural properties because this property type no longer remains downtown.
Buildings designed as single-family dwellings are concentrated at the outskirts of the central Downtown Survey Area and sparsely located throughout. Dwellings located at the boundary of Downtown Napa transition into the residential districts such as St. John’s neighborhood to the north; Napa Abajo to the south; and Fuller Park to the southwest. The Oxbow neighborhood, named for its location in the bend in the Napa River, developed slightly differently from the central, commercial downtown because of its somewhat isolated location. Therefore, the Oxbow neighborhood is discussed in a separate section below.
Most residences constructed downtown were constructed as single-family residences. Houses located downtown were designed in vernacular architectural styles for workers and in high architectural styles for prominent families who owned businesses in Napa. Residences date from the 1870s to the present, but the majority of the residences was constructed between 1880 and 1920. By 1920, residential areas bordering downtown were largely built-out, therefore, fewer houses were constructed downtown after the 1920s. The architect is unknown for most residences; however, local architect Luther Turton designed a number of high architectural style residences at the turn-of-thecentury. Houses range from one to two-and-a-half stories in height and are designed in Italianate, Stick/Eastlake, Queen Anne, and vernacular styles.
Single-family residences are most easily distinguished by their single primary entrance. This may consist of one door, or double doors, but will serve only a single entryway. This feature sets singlefamily dwellings apart from purpose-built flats or duplex dwellings, which feature a separate entry for each residential unit within the building.
The Oxbow neighborhood is located in the northeast portion of the Downtown Napa Survey Area, and is named for the bend in the Napa River that frames the south, east, and north boundaries of the neighborhood. The Oxbow neighborhood has been significantly altered, but contains one to twostory, wood-frame dwellings on First and Water streets that date from the 1870s through the present. The majority of the houses was constructed between 1900 and 1910 and was designed in a vernacular architectural style for working class families. Generally, the architect of these houses is unknown.
Although historically a neighborhood which contained residential, commercial and industrial buildings, today Oxbow is primarily commercial. Modern complexes, including the Oxbow Public Market, stand where residential and industrial buildings were once located.
Multiple-family dwellings and historic apartment buildings are not common in Downtown Napa due to the rural nature and relatively slow growth of the city up to the latter half of the twentieth century.
As a building type, apartments can be defined as multiple-family residential structures with access provided by a single entrance that often leads into a lobby, which in turn provides access, via stairs or elevator, to the various floors where each residential unit has a dedicated entry. Motel-style configurations are also common, particularly in buildings dating from the mid- to late-twentieth century, and feature an exterior entrance for each unit with access provided by a common porch, walkway or balcony. There are only a couple of examples of historic apartment buildings in the Downtown Napa survey area, and they are small to mid-sized buildings (containing approximately four to twenty residential units).
Residential buildings in the Downtown Napa survey area, especially those that were constructed at the turn of the century, can be considered very significant, as they reflect the patterns of development and the socio-economic conditions during the survey area’s heyday. Residential properties located downtown are more likely to be significant as individual resources rather than as a district because downtown Napa does not contain a very high concentration of residences. For information about the residential neighborhoods that border the Downtown Survey Area, please refer to “A Residential Context for the Cultural Resources of the City of Napa,” which was prepared by Anne Bloomfield for the City of Napa Planning Department in 1996.
Commercial properties in Downtown Napa are typically small-scale, individual buildings that fit the lot and block sizes of the commercial area. Although these buildings are concentrated on Main, Brown, Coombs, First, Second, and Third streets, they are interspersed throughout the Downtown Napa Survey Area. Like the residential building stock located downtown, commercial buildings range in date from the 1870s until the present. The majority of the commercial buildings were constructed between 1880 and 1930 and in the 1950s. This commercial development period mirrors the development of Napa: its first large building period in the 1880s as the town shifted from a temporary mining and agricultural community into a full-fledged town; and a second redevelopment period spurred in the 1960s by a shift from an industrial economic base to a more tourism-focused economy at the conclusion of World War II.
Historic commercial buildings in the survey area are typically one to four stories in height, feature a commercial storefront on the first story, and are surmounted by office space. Older buildings, constructed between 1880 and 1930, may be comprised of local stone or brick, whereas later commercial buildings constructed in the 1950s and 1960s may be of wood or steel frame construction. Commercial buildings constructed at the turn of the twentieth century were often designed by architects such as Luther Turton, Ira Gilchrist, C.L. Hunt, William Corlett, and Wright & Saunders. The proprietors of these buildings are also notable, as they were prominent businessmen and therefore important figures in the foundation of Napa.
Commercial buildings are significant for their role in providing goods and services to a growing community. Historic commercial properties in the Downtown Napa survey area reflect almost every period in the area’s history, and as a property type are capable of conveying patterns of development in the area and citywide.
The City of Napa has been the County Seat of Napa County since 1850. Today, Downtown Napa continues to serve as the civic center of Napa and contains both city and county governmental buildings. Civic buildings were constructed between the 1870s and the 1950s in a variety of architectural styles.
Although institutional buildings were also prominent, the majority of the historic schools once located downtown were demolished as new schools were constructed in surrounding residential suburbs such as St. John’s, Calistoga, Napa Abajo, and Fuller Park. Several historic churches, however, remain downtown.
Civic and Institutional properties are likely to have significance under the themes of development and growth identified in this context statement, because they represent establishment of Napa as the County Seat. Institutional properties may be significant for their role in the community, or may represent ethnic and cultural diversity within the region. The Downtown Napa survey area was historically designated as the governmental center of Napa and, as the oldest residential neighborhood, contained some of its first institutional properties as well.
Although several industrial properties were located in the Downtown Napa Survey Area from the 1870s until the late twentieth century, only the Hatt Building and Mill Complex, located at the intersection of Fifth and Main streets, remain. Historically, industries clustered south of Third Street and in the northeast portion of the Oxbow neighborhood because both were located on the Napa River. The Napa River and rail transportation provided access to a supply of water and means of shipping and thus facilitated the manufacturing of various products. Industrial buildings are relatively large structures situated on large parcels and are typically of utilitarian design and construction. Industrial buildings commonly contain expansive, undivided, double-height interior spaces, and were not architect-designed. However, as industry has recently declined and many industrial resources have been demolished or converted to other uses, historic industrial properties now represent only a small portion of the building stock.
Industrial buildings are likely to have significance under the themes of development and growth identified in this context statement, because they represent large and often long-standing establishments as well as important factors in the city’s economy and its trade relations with the surrounding region. The Hatt Building and Complex represent some of the oldest building in Napa. Downtown Napa was once the heart of industrial Napa, and industrial properties in the area represent the establishments that gave the neighborhood its commercial identity and provided employment for much of the city’s populace.
The following discussion of significance and integrity of the identified property types generally guides evaluation of buildings in the Downtown Napa survey area. It is important to note that each property is unique; therefore significance and integrity evaluation must be conducted on a case-by-case basis. These guidelines should be implemented as an overlay to the particular facts and circumstances of each individual resource or district.
The National Register of Historic Places is the nation’s most comprehensive inventory of historic resources. The National Register is administered by the National Park Service and includes buildings, structures, sites, objects, and districts that possess historic, architectural, engineering, archaeological, or cultural significance at the national, state, or local level. According to National Register Bulletin Number 15: How to Apply the National Register Criteria for Evaluation, resources over fifty years of age are typically eligible for listing in the National Register if they meet any one of the four criteria of significance (A through D) and if they sufficiently retain historic integrity. However, resources under
fifty years of age can be determined eligible if it can be demonstrated that they are of “exceptional importance,” or if they are contributors to a potential historic district. These criteria are defined in depth in National Register Bulletin Number 15. The California Register of Historical Resources follows nearly identical guidelines to those used by the National Register, but identifies the Criteria for Evaluation numerically.
The four basic criteria under which a structure, site, building, district, or object can be considered eligible for listing in the National or California registers are:
Criterion A/1 (Event): Properties associated with events that have made a significant contribution to the broad patterns of our history;
Criterion B/2 (Person): Properties associated with the lives of persons significant in our past;
Criterion C/3 (Design/Construction): Properties that embody the distinctive characteristics of a type, period, or method of construction, or that represent the work of a master, or that possess high artistic values, or that represent a significant distinguishable entity whose components lack individual distinction; and
Criterion D/4 (Information Potential): Properties that have yielded, or may be likely to yield, information important in prehistory or history.13
A resource can be considered significant to American history, architecture, archaeology, engineering, and culture on a national, state, or local level.
The eligibility criteria for local listing in the City of Napa’s Historic Resources Inventory (HRI) are similar to the National Register and California Register criteria described above. Properties listed in the HRI may be designated as Landmarks, Neighborhood Conservation Properties, or simply listed as significant.
Specifically, as described in the City of Napa’s Historic Preservation Ordinance (Municipal Code §15.52(B)1), the criteria for designation as a Landmark Property are: a. Exemplifies or reflects special elements of the city’s cultural, social, economic, political, aesthetic, engineering, architectural or natural history; b. Is identified with persons or events significant in local, state or national history; c. Embodies distinctive characteristics of a style, type, period or method of construction, or is a valuable example of the use of indigenous materials or craftsmanship;
d. Represents the work of a notable builder, designer or architect; or e. Is one of the few remaining examples in the city, region, state or nation possessing distinguishing characteristics of an architectural or historical type or specimen.
As described in the City of Napa’s Historic Preservation Ordinance (Municipal Code §15.52(B)2), the criteria for designation as a Landmark District are:
13 Any archaeological artifact found on a property in Napa has the potential to yield knowledge of history and could therefore prove significant under this criterion. However, analysis under this criterion is beyond the scope of this report.
a. The majority of the properties reflect significant geographical patterns, including those associated with different eras of settlement and growth, particular transportation modes or distinctive examples of park or community planning;
b. The majority of the properties convey a sense of historic or architectural cohesiveness through their design, setting, materials, workmanship or association;
c. The majority of the properties have historic significance and retain a high degree of integrity;
d. The area in general is associated with a historically significant period in the development of the community or is associated with special historical events;
e. The majority of the properties embody distinctive characteristics of a style, type, period or method of construction, or are a valuable example of the use of indigenous materials or craftsmanship; or
f. The majority of the properties represent the works of notable builders, designers or architects.
A property considered for designation as a Neighborhood Conservation Property need not have historical significance. As described in the City of Napa’s Historic Preservation Ordinance (Municipal Code §15.52(C)2), the criteria for designation as a Neighborhood Conservation Property are:
a. The property represents an established and familiar visual feature of a neighborhood, community or of Central Napa; or
b. The property has historic, architectural or engineering significance.
Although phrasing slightly differs, the designation criteria established by City of Napa’s HRI for Landmark Properties and Landmark Districts are essentially the same as the National Register and California Register criteria. In all cases, historic resources may be significant for their association with events, social and cultural trends, important people, architecture, and/or master architects. Thus, the evaluations presented throughout this document for eligibility in any of the three registers will use a consistent approach. Additionally, the HRI’s similarity to the California Register criteria ensures that locally designated resources will receive protection under CEQA (see page 102 for a detailed discussion of CEQA and historic resources).
In addition to qualifying for listing under at least one of the National Register/California Register/local criteria, a property must be shown to have sufficient historic integrity. The concept of integrity is essential to identifying the important physical characteristics of historic resources and in evaluating adverse changes to them. Integrity is defined as “the authenticity of an historic resource’s physical identity evidenced by the survival of characteristics that existed during the resource’s period of significance.”14 The same seven variables or aspects that define integrity—location, design, setting, materials, workmanship, feeling and association—are used to evaluate a resource’s eligibility for listing in the National Register and/or the California Register . According to the National Register Bulletin: How to Apply the National Register Criteria for Evaluation, these seven characteristics are defined as follows:
14 California Office of Historic Preservation, Technical Assistant Series No. 7, How to Nominate a Resource to the California Register of Historic Resources (Sacramento, CA: California Office of State Publishing, 4 September 2001) .11
Location is the place where the historic property was constructed or the place where the historic event occurred. The original location of a property, complemented by its setting, is required to express the property’s integrity of location.
Design is the combination of elements that create the form, plans, space, structure and style of the property. Features which must be in place to express a property’s integrity of design are its form, massing, construction method, architectural style, and architectural details (including fenestration pattern).
Setting addresses the physical environment of the historic property inclusive of the landscape and spatial relationships of the building(s). Features which must be in place to express a property’s integrity of setting are its location, relationship to the street, and intact surroundings (i.e. neighborhood or rural).
 Materials refer to the physical elements that were combined or deposited during a particular period of time and in a particular pattern of configuration to form the historic property. Features which must be in place to express a property’s integrity of materials are its construction method and architectural details.
Workmanship is the physical evidence of the crafts of a particular culture or people during any given period in history. Features which must be in place to express a property’s integrity of workmanship are its construction method and architectural details.
Feeling is the property’s expression of the aesthetic or historic sense of a particular period of time. Features which must be in place to express a property’s integrity of feeling are its overall design quality, which may include form, massing, architectural style, architectural details, and surroundings.
 Association is the direct link between an important historic event or person and a historic property. Features which must be in place to express a property’s integrity of association are its use and its overall design quality.
For evaluation purposes, a historic resource ultimately either possesses integrity or does not. A property that has sufficient integrity for listing in the national, state, or local historical register will generally retain a majority of its character-defining features, and will retain enough aspects of integrity to convey its significance. The necessary aspects of integrity depend on the reason the property is significant. Increased age and rarity of the property type may also lower the threshold required for sufficient integrity. High priority is typically placed on integrity of design, materials, and workmanship for properties significant under Criterion C/3, while for properties significant under Criterion A/1 or B/2, these aspects are only necessary to the extent that they help the property convey integrity of feeling and/or association. Similarly, integrity of location and setting are crucial for properties significant under Criterion A/1, but are typically less important for properties significant under Criterion B/2 or C/3. For properties significant under all criteria, it is possible for some materials to be replaced without drastically affecting integrity of design, as long as these alterations are subordinate to the overall character of the building. For example, minor alterations such as window replacement may be acceptable in residential districts, but not in an individual property designed by a master architect.
However, levels of integrity are sometimes helpful for city planning purposes. For instance, some properties may rate highly in all aspects of integrity; such properties should be given high priority in
preservation planning efforts, and are more likely to be eligible for listing in the National Register. Generally, a property with exceptional integrity will have undergone few or no alterations since its original construction, and will not have been moved from its original location. In the case of a property associated with a significant person, retention of the physical features that convey the property’s association with that person is critical. In addition to the character-defining features listed above, a property with exceptional significance must also retain all features from the period when it was associated with a significant person (including later alterations).
This section provides information specific to the Downtown Napa survey area. Please refer to the City-Wide Historic Context Statement (1 September 2009) for an expanded discussion of each historic period, theme, and property type relative to broad patterns of city development.
Prior to European settlement, the Napa Valley region was inhabited by Native Americans of the Wappo and Patwin groups. The Native American occupation of the area dates back 10,000 years, to about 8000 BC, making Napa Valley one of the longest inhabited regions in California. Its long occupation was due to abundant natural resources that early peoples relied on for subsistence.
“Wappo” is a version of the Spanish word “guapo,” meaning “brave one;” the tribe’s territory extended from St. Helena south to the major Napa River crossing at present-day Trancas Street. The Wappo were primarily a hunter-gatherer society, and lived in permanent villages typically located near the Napa River or other water courses; sometimes smaller camps could be found near natural springs, along prominent hunting trails, or near major oak groves, which were the sources of acorns.
The Downtown Napa survey area was inhabited by the Patwin, a branch of the Southern Wintun group. The Patwin spoke a dialect of the Wintun language, and “Patwin” is the Southern Wintun word for “person” or “people.” Like the Wappo, the Patwin lived in permanent villages near springs for easy fishing, game hunting, and acorn gathering. The Patwin were divided into a number of subgroups or tribelets, and the Patwin town in the present-day city of Napa—likely located near the Downtown Napa survey area—was a probable tribelet center for the Patwin’s “Napa” group.15
No known architectural resources exist from Napa’s early Native American period. However, archaeological artifacts discovered from this period are likely to yield information about the life and culture of the Wappo or Patwin, and are thus assumed to be significant under Criterion D (Information Potential).
Mission San Francisco de Solano, the northernmost mission and last to be constructed (1823), is located in present-day Sonoma. It is the closest mission in proximity to Napa. The missions were self-sufficient communities, and each included a church, residences, and support facilities. By the 1830s, with Secularization, most missions had been repurposed or dismantled for building materials that went to constructing new buildings. Outside of Mission San Francisco de Solano, society during the Mexican period was dominated by the landowning Vallejo family. General Mariano Guadalupe Vallejo was in control of vast tracts of land in the Napa Valley, which he subsequently awarded to his loyal soldiers and friends. Cattle ranching was the primary industry on these ranchos.
One large grant bestowed by Vallejo was to Cayetano Juarez, who established Tulocay Rancho on the eastern side of the Napa River. The rancho covered approximately 8,800 acres and was operated by over 400 native laborers.16 Other grants parceled out by Vallejo included the Yajome Rancho given to the Rodriguez family, the Las Putas Rancho to Jose Santos Berryessa, the Napa Rancho to
15 Richard H. Dillon, Napa Valley Heyday (San Francisco: Book Club of California, 2004), 15-18. Robert Fleming Heizer, The Archaeology of the Napa Region (Berkeley: UC Press, 1953), 233-242. Yolande S. Beard, The Wappo: A Report (St. Helena: by author, 1977), 42-47.
16 Lauren Coodley and Paula Amen Schmitt, Napa: The Transformation of an American Town (Charleston, SC: Arcadia Publishing, 2007), 25.
Salvador Vallejo, and Entre-Napa Rancho to Nicholas Higuera. The Vallejo Rancho remained the focal point of the region, hosting social events like rodeos and bear fighting. The owners of the surrounding rancheros gave their loyalty to Vallejo and assisted him in many of his continuing military assaults against the local Native Americans.
Eventually several of these rancho land grants were combined to form the present-day town of Napa and the Downtown survey area: Higuera’s grant west of the river would become the commercial core (Rancho Entre Napa), the land north of First Street was acquired from Salvador Vallejo (Rancho Napa), and the land east of the river was acquired from Juarez (Rancho Tulocay).
 
    A map of Napa Valley ranchos. (King, plate IV)
Buildings constructed during the Spanish and Mexican periods were primarily adobe or wood-frame structures, and would have likely included residential, agricultural, and religious properties. The only known building extant from this period within the entire city limits is the Cayetano Juarez adobe, a residence from the Juarez rancho that is now used as a restaurant. This building is located on Silverado Trail outside the Downtown Napa survey area, and thus no physical evidence remains of this era in the survey area.
Major development trends that would shape the Downtown survey area in later years—such as the city’s first subdivision plats, the importance of the Napa River for transportation and commerce, the development of roads and infrastructure, the establishment of agriculture as a major economic force, and the construction of the first commercial buildings—had their beginnings during this era. However, no properties from this era are still extant within the survey area today.
Napa City was founded in 1847 by John Grigsby and Nathan Coombs at the confluence of the Napa River and Napa Creek. Coombs laid out a town site on the newly-acquired land, hiring James Hudspeth to survey and plot the new town. The original town limits only included land between Brown Street and the Napa River, extending 600 yards from Napa Creek to the steamboat landing at Third Street. By December 1847, the first lots in the town had been purchased by Harrison Pierce, who then put up the first commercial building—the 18’ x 24’ “Empire Saloon” at Main and Third streets—by May of the following year. The new town was called “Nappa City,” although the second “p” was later dropped. 17 In 1850, Napa County was established as one of California’s original twenty-seven counties, with Napa City as the county seat.18
An 1853 map of the City of Napa. (Online Archive of California)
 
    17 Coodley and Schmitt, 28. Lin Weber, Napa, (Charleston, SC: Arcadia Publishing, 2004), 19. Napa, the Valley of Legends, Introduction, 7-8, 67-68.
18 William F. Heintz, California’s Napa Valley: One Hundred Sixty Years of Wine Making (San Francisco: Scottwall Associates, 1999), 24.
The discovery of gold in the foothills of the Sierra Nevada in 1848 brought miners and entrepreneurs to California from all over the world, and Napa Valley prospered as a result. Immediately after the discovery, the majority of Napa’s residents left for the gold fields, leaving the new townsite deserted. However, the town’s population soon returned, as merchants moved to Napa to establish businesses, and the region’s mild climate attracted miners to Napa for the winter.19 While Napa City prospered, it did not grow as fast as other Gold Rush-era towns for two main reasons: first, it was not on the way to any major cities or destinations (Napa was developed as—and still is—a place to “get away from it all”), and second, residual confusion over the Mexican land grants curbed American land ownership and development, although federal legislation passed in 1851 helped validate some of the squatters’ claims.20
As in much of California, early Napa City residents were typically working-class men, as evidenced by the abundance of saloons, boarding houses, gambling houses, livery stables, and general stores and by the distinct lack of schools, churches, and other family-oriented services within the Downtown survey area. By 1854, the city had between 300 and 400 permanent residents and nearly 40 woodframe buildings, and it continued to grow steadily in both business and population. Early businesses in downtown Napa City included the first general store, opened by J.P. Thompson at the foot of Main Street in 1848; Nathan Coombs’ American Hotel at Main and Third streets in 1850; the Napa Hotel, founded by James Harbin in 1851; a blacksmith shop near the corner of First and Main in 1854; a bank established by J.H. Goodman & Co. in 1858; and a few additional saloons, restaurants,
 
    19 W.F. Wallace, History of Napa County (Oakland, CA: Enquirer Print, 1901), 128.
20 Lin Weber, Old Napa Valley: The History to 1900 (St. Helena, CA: Wine Venture Publishing, 1998), 140-141.
Napa County Courthouse, circa 1860. (Online Archive of California)lodging houses, and stores.21 The first brick building, a small residence on the west side of town, was constructed in spring 1855 by John S. Robinson, and the first brick commercial building was erected at the southwest corner of Main and First streets by Thomas Earl.22 Napa’s first courthouse was constructed in 1851 at the northwest corner of Coombs and Second streets. The two-story, woodframe, 20’ x 30’ building contained a court room, clerk’s office, and jail for petty offenders.23 Other services were established as the town gained status; the first local newspaper, the Napa County Reporter, was published by Alexander J. Cox on July 4, 1856, and the first telegraph line was constructed between Vallejo and Napa in 1858.24 The three-story, brick masonry Revere House, one of Napa’s earliest hotels, was constructed across from the courthouse in 1856.25
As Napa City grew in the wake of the Gold Rush, the Napa River continued to be the focal point of the town. The river had undoubtedly played a role in Nathan Coombs’ selection of the town site, as it connected the town to the greater Bay Area; Napa City’s location at the head of the navigable section and at the ford just above it was also crucial because travelers had to travel by boat or swim their horses across the river until 1848.26
 
    The first ferry service was established in 1848 by William Russell, and crossed the Napa River at Third Street. In 1850, The Dolphin, piloted by Captain Turner G. Baxter, was the first passenger steamer to arrive in Napa from San Francisco.27 Shipping passengers and goods to Napa became an
21 Campbell Augustus Menefee, Historical and Descriptive Sketchbook of Napa, Sonoma, Lake and Mendocino (Napa CA: Reporter Publishing House, 1873, reprint Fairfield, CA: J. Stevenson, 1993), 23-24
22 Wallace, 128.
23 Ibid.
24 Weber, Napa, 71. Coodley and Schmitt, 35-36. Gregory, Tom. History of Solano & Napa Counties, California (Los Angeles, CA: Historic Record Co., 1912).
25 Kernberger, Mark Strong’s Napa Valley, 33.
26 Coodley and Schmitt, 33. Menefee, 23.
27 Napa, the Valley of Legend,54. Coodley and Schmitt, 33. D.T. Davis, History of Napa County, (Napa, CA: unknown, 1940),
30. David and Kathleen Kernberger, Mark Strong’s Napa Valley, 1886-1924 (St. Helena: Historic Photos, Pubs., 1978), 2.
View of Napa River, circa 1860. (Online Archive of California)important business for local merchants, and spurred commercial and residential development throughout the county.28 In Napa City, businesses, factories, and warehouses clustered on both banks of the river for easy access to the shipping lines, and residential neighborhoods for laborers and merchants were established further inland.29
While the river sustained the new city by providing its economic base and a physical link to San Francisco, the river also presented an obstacle for early urban development, especially in the Downtown Survey Area. Once the county was organized, bridge-building became a top civic priority.30 The city’s first bridge was constructed across Napa Creek at Brown Street in 1849, although it collapsed under the burden of a wagonload of wheat later that year.31 The first bridge across the Napa River was constructed of wood at First Street in 1853, but was replaced in 1860 by a stone bridge (no longer extant). Other early wooden toll bridges spanning the city’s waterways were established by local entrepreneurs, but all quickly collapsed, washed out, or were replaced with more permanent construction.32 Stone bridges would be constructed during the Victorian era (see page 31).
Public roads were slow to develop in Napa. Most major routes through the region followed conduits established by Native Americans in their hunting and trading migrations, which naturally observed the paths of best terrain and easiest travel. These trails were then used by the Spanish and Mexican rancheros to link their properties and homesteads. The first improved road was built in 1851-1852 roughly following the river up the center of the valley, although winter floods often made it impassable.33 The road ran northwest from the river landing at Soscol, continuing through Napa City on what is now Pueblo Avenue and turning north at Redwood Road and Highway 29. Another parallel road was established to provide an alternate route to St. Helena, built further east on higher ground that was less prone to flooding. This route is now Silverado Trail, although it was referred to as the “Old Back Road” or “East Side Road,” and was marked on maps simply as “county road” until the early twentieth century. To the west of downtown, Brown’s Valley Road was a major route and was essentially a continuation of First Street, connecting the commercial core to the surrounding farmland.
In Downtown Napa itself, the initial street grid was dominated by First, Third, and Main streets, where the majority of public establishments like hotels and saloons seemed to be located and most business took place. The streets were unpaved and muddy, making it difficult to get around when it rained. Bundles of straw were placed at the muddy crossings, but as late as 1856, little effort had been made to improve the streets or highways.34 While the roads in the city and the surrounding area were primitive, they were catalysts for development in Napa City, and roadhouses and other services began to cluster along the new transportation corridors.
From Coombs’ original 1847 town site, several expansions of Downtown Napa’s street grid were made by various owners of adjacent land during the Gold Rush era. In 1850, E. Brown surveyed a tract recorded as “Napa City,” which included Coombs’ original plat and an area to the west that extended to where the numbered streets now bend (near School Street). This new addition was bounded on the north by Napa Creek and on the south by Division Street. In 1852, George
28 Swett, 13.
29 Kernberger, Mark Strong’s Napa Valley, 2.
30 “Historic American Engineering Record: First Street Bridge over Napa Creek,” (San Francisco: National Park Service, 2005), 6.
31 Napa, the Valley of Legends, 54. Weber, Old Napa Valley: The History to 1900, 148-149.
32 “Historic American Engineering Record: First Street Bridge over Napa Creek,” 6-8.
33 Swett, 16. King, 34-35. Coodley and Schmitt, 12.
34 Coodley and Schmitt, 33-34. Weber, Old Napa Valley: The History to 1900, 140. Menefee, 23. King, 34-35.
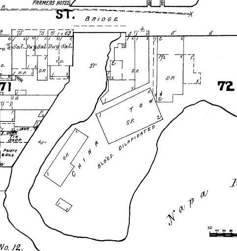
Cornwall turned his barley field into another plat called “Cornwall’s Addition to Napa City,” 35 which consisted of six square blocks at the confluence of Napa River and Napa Creek and was laid out as a continuation of the Napa City grid; it became home to an industrial area, Chinatown, and a twoblock “Spanish Town.”
 
    The town was formerly divided into “Alta Napa” & “Napa Abajo.” Napa Abajo, or Lower Napa, was a 100-acre real estate subdivision immediately south of Napa City purchased by J.P. Thompson from Nicolas Higuera. Thompson filed his new subdivision with the county recorder in 1857 as a separate town and established a street grid that lined up with a lower portion of the river, rather than with the grid of Napa City. The two street grids still do not align today, and converge at Division Street. Napa Abajo extended south to Spruce Street and a little west of Franklin Street, featured large lots, and only contained half a dozen houses by 1861.36 An Alta Napa (or Upper Napa) Survey was completed at the request of Chancellor Hartson in 1857, and covered the area east of Seminary Street between Napa Street to the south and Yount Street to the north in today’s St. John’s neighborhood.37
Thompson’s example of non-parallel street grids was followed by the next several subdivisions, creating the mélange of contrasting street grids still visible today. Brown and Walker’s Addition of 1857 was located southwest of Napa City from Second Street to Oak Street and set up the grid
35 “Cornwall’s Addition” is referenced in some sources as “Cornwell’s Addition;” however, the original survey is entitled “Cornwall’s Addition to Napa City” in County Recorder’s Book B of Deeds, 143, and is therefore referenced as such in this document.
36 Menefee, 23. Wallace, 128-155. Anne Bloomfield, A Residential Context for the Cultural Resources of the City of Napa (prepared for Planning Department, City of Napa, January 1996), 4-6.
37 Bloomfield, 28.
“Cornwall’s Addition to Napa City,” 1869. (Napa County Historical Society Archives)alignment that extends down to Fuller Park. Numerous other small additions were also completed in Napa’s early years. These early subdivisions and additions were largely purchased as land speculation; most of the parcels established by the surveys were subdivided further in later years as the population increased. However, it was not until the 1870s that residential development in Napa first occurred on a large scale.
Napa City was the commercial center of the valley, and industries that supported agricultural production developed in the city itself, especially within the Downtown Napa survey area. Flour mills to process wheat; manufacturing plants for pumps, windmills, and other agricultural equipment; dehydrators and packing plants to process fruit raised in the valley; sawmills; tanneries and hide curing plants; and import/export businesses all sprang up along the banks of the Napa River.38 Napa’s famous commercial wine industry was also started in the wake of the Gold Rush, although years earlier the priests at the Spanish Missions had been the first to plant grapes for eating and making sacramental wine.39 Following John Patchett’s lead, winemaking had become a popular occupation by the 1860s and 1870s, and numerous pioneer vintners planted vineyards and constructed wineries and cellars in Napa City and its surrounds.40
Little physical evidence of the early American period remains in the Downtown Napa survey area, as no buildings which date to the 1850s appear to be extant. If such a property were discovered, though, it would likely be significant for its connection to the theme of early American settlement. Menefee, 54. Napa, Valley of Legends, 67, 87-88. Heintz, 30-36. Ibid.
Napa grew steadily throughout the Victorian era as people continued to settle and more businesses were established in the town. Transportation, infrastructure, and social services were greatly improved, and by 1880, Napa had a bustling downtown and a population of approximately 4,000. 41 Commercial development in Downtown Napa during the Victorian era reflected the new economic success of the city, and Downtown was home to all the city’s businesses and services, including groceries, general stores, saloons, hotels, restaurants, livery stables, and financial institutions, among others. As business and industry gained success, the city also experienced a period of steady residential growth, and single-family residences radiated from the bustling downtown.
Birdseye view of Napa by C.J. Dyer, circa 1880s. Note dense, small-scale development of the Downtown Napa survey area in center. (Online Archive of California)
 
    Napa was officially incorporated on March 23, 1872, as the “Town of Napa City,” and was reincorporated on February 24, 1874, as the “City of Napa.”42 While most of the land in Napa remained sparsely developed during this era, the land and street grids established in the additions of Thompson et al. during the Gold Rush era were considered part of the town when it was incorporated in 1872. The city limits as originally incorporated included, clockwise from York Street: Lincoln Street, Soscol Avenue, Lawrence Street, Pearl Street, the Napa River, Spruce Street, a point west of Franklin Street, Elm Street, Jefferson Street, Second Street, a northerly continuation of Patchett Street, Napa Creek, and York Street.43 This included the entire Downtown survey area.
41 Napa, Valley of Legends, 68. Gregory, 157. Kilgallin.
42 Napa, Valley of Legends, 68. Gregory, 157. Kilgallin.
43 Bloomfield, 4-6.
In 1878, a new Napa County Courthouse was constructed at the heart of the new Victorian city, replacing the original brick courthouse from the Gold Rush era. Designed in the Italianate style by architects Samuel and Joseph Newsom with Ira Gilchrist, the courthouse originally had a spire that was destroyed in the 1906 Earthquake. A portion of the courthouse was also used as the county jail.44 City Hall was also constructed circa 1880 on Brown Street, opposite the County Courthouse.45
 
    Commercial development was the primary force that shaped the Downtown Napa survey area during the Victorian era. Main Street grew as the mercantile center of Napa, but businesses were also located along Third, Second, First, Pearl, and Clinton streets. The financial center of the city was established on the “bank block” at Second and Main streets, anchored by the Bank of Napa, which was founded in 1871 by prominent local businessman and politician Chancellor Hartson.46 The Williams Block (1886) was the first major retail commercial development on Main Street north of Napa Creek, and was expected to draw businesses north from the city’s core at First and Main streets. Designed by Wright and Saunders of San Francisco for a cost of $26,000, the Williams Block was renamed the Kyser Block in 1901 shortly after David Sterling Kyser purchased the building to house his furniture and undertaking business.47 According to Sanborn Fire Insurance maps, the downtown district featured a wide variety of businesses ranging from bakeries, general stores, groceries, wholesale liquor stores, restaurants, and saloons to hotels, billiards halls, wagon repair shops, livery stables, saddle shops, clothing stores, cobblers, tailors, pharmacies, hardware stores, a photography studio, and a gunsmith.48
45 Darms, 98.
 Napa County Courthouse (1878). The building is still extant, but the tower was demolished circa 1906. Photo circa 1900. (Kernberger, Mark Strong’s Napa Valley, 27)
          Napa City Hall on Brown Street, circa 1880. The building is still extant, but its façade has been altered beyond recognition. (Darms, 98).
          44 Napa County Landmarks, 1978 Survey Inventory Forms.
          46 Weber, Old Napa Valley: The History to 1900, 209.
          47 Kilgallin, 12. Kernberger, Mark Strong’s Napa Valley, 23.
          48 Sanborn Fire Insurance Maps (1886, 1891).
    Napa County Courthouse (1878). The building is still extant, but the tower was demolished circa 1906. Photo circa 1900. (Kernberger, Mark Strong’s Napa Valley, 27)
          Napa City Hall on Brown Street, circa 1880. The building is still extant, but its façade has been altered beyond recognition. (Darms, 98).
          44 Napa County Landmarks, 1978 Survey Inventory Forms.
          46 Weber, Old Napa Valley: The History to 1900, 209.
          47 Kilgallin, 12. Kernberger, Mark Strong’s Napa Valley, 23.
          48 Sanborn Fire Insurance Maps (1886, 1891).
          Other prominent downtown commercial buildings and businesses from this era—none of which remain today—included the Phoenix Block on First Street between Main and Brown; the Hartson Building at Main and Third streets, which housed the offices of architect Luther Turton and photographer Mark Strong; the “Bank Block” building on Second Street at Brown Street (1888); Schwartz Hardware Store on Main Street between First and Second streets (1871); the Napa Hotel on the corner of First and Main streets (1885); and the German House, the Napa City Market, and the offices of Napa Reporter at the corner of First and Brown streets. Groceries, clothing, and general stores abounded, including the Levinson family’s Pioneer Clothing Store, the Chicago Emporium, E.W. Hottel’s grocery, and O.P.C. Grocery, among others. The Oddfellows Hall (1877, demolished 1973), Napa Masonic Temple (1889, demolished 1974), and the Napa Business College (1893, demolished 1973), among others from this era, were all lost to redevelopment in the 1970s.49
 
     
    The late Victorian era also saw a transition from the wood-frame false-front Italianate style commercial buildings of the 1850s-1870s to more permanent buildings of brick and stone. These materials were used for principal businesses, grain warehouses, banks, and schools, although residences, stables, and modest stores were still built of wood. The Semorile Building at 975 First Street and the Winship Building at the corner of First and Main, both designed by Luther Turton in 1888, are excellent and rare examples of Victorian-era commercial architecture.50 The Semorile Building was commissioned by Italian immigrant Bartolomeo Semorile to house a grocery store; the Winship Building was built by prominent local businessman E.H. Winship.51 Other notable buildings from this period remaining in Downtown Napa include the Borreo Building, the Napa Valley Register Building, and the Kyser-Lui-Williams Block.
49 Weber, Napa, 63, 72-74. Kernberger, Mark Strong’s Napa Valley, 13-15, 21-22, 29, 32. Kilgallin, 32. Sanborn Fire Insurance Maps (1891).
50 Kilgallin, 17. Kernberger, Mark Strong’s Napa Valley, 11.
51 1978 Survey, Historic Resource Inventory Records.
The Masonic Temple, near Second & Brown streets, 1908 (demolished). (Darms, 5) The Bank of Napa, at Second and Main streets, 1900 (demolished). (Kernberger, Mark Strong’s Napa Valley, 15)As Napa City continued to grow as the commercial center of the valley, more industries were developed to provide the necessary base for economic growth. Most industries established during the Victorian era were associated with agricultural uses, and manufactured products related to the fruit, wine, lumber, wool, and leather industries, among others. Manufacturing and industrial development occurred primarily south and east of downtown, centered on Brown and Main streets south of Third Street and flanking the river. East Napa also grew as an industrial area because of its undeveloped land conducive to the formation of large parcels and its proximity to the river and railroad lines. Groups of simple, small-scale workers’ cottages also sprang up around these factories.
 
    The largest industrial operation in Victorian-era Napa was the Sawyer Tanning Company, established on Coombs Street by French Albert Sawyer in 1869. Located along the Napa River just south of the
 Main Street, looking north from Third Street, circa 1887. (Kernberger, Mark Strong’s Napa Valley, 11)
          Downtown Napa, view northeast from courthouse cupola, 1887. (Kernberger, Mark Strong’s Napa Valley, 30)
    Main Street, looking north from Third Street, circa 1887. (Kernberger, Mark Strong’s Napa Valley, 11)
          Downtown Napa, view northeast from courthouse cupola, 1887. (Kernberger, Mark Strong’s Napa Valley, 30)
          Downtown Napa survey area, the Sawyer Tannery remained in business until the late 1990s.52
Within the Downtown Napa survey area, one of the first industrial buildings was the Uncle Sam Winery, established in 1872 at the northeast corner of Main and Fourth streets (no longer extant). The Uncle Sam Winery was initially the largest producer of bulk wine in Napa, but it was not ultimately as successful as its up-valley counterparts, and the owners later built a vinegar factory and a brandy distillery on the property. In 1874, Guiseppe Migliavacca constructed a 10,000-gallon winery on Fifth Street (no longer extant), and his wine business became quite successful.53 Across Fourth Street, just south of the Uncle Sam Winery, was the James and Boggs Lumber Yard, which became Noyes Lumber in 1900.54 Knapp’s Lumber Yard and W.P. Corlett’s Enterprise Planing Mill were also located at Fourth and Main streets.55 None of the lumber yards are extant today. Nearby, Albert Hatt’s brick warehouse was established in 1884 for coal and lumber storage; next door was William Stoddard’s Wool Mills (also known as Napa Milling), which had gone out of business by 1886 and came to be used as a storage facility for Uncle Sam’s Winery. 56 Today, these buildings still stand at Fifth and Main streets on the bank of the Napa River and serve as a hotel, retail, and dining complex called Napa Mill.
Industrial uses were also established within the Oxbow portion of the Downtown survey area, and contributed to the growing pollution of the Napa River: the McBain Tannery (also known as the Napa City Tannery) was on McKinstry Street, with buildings on both sides of the street connected by a bridge; the Napa Glue Company was at Pearl and McKinstry streets; and the Vernon Flour Mills were on Water Street. The L. Christin’s Tartar Works and Distillery Napa Cream of Tartar Works were at the northern end of the survey boundary—at West and Pearl streets— and processed byproducts of the wine-making process.57
Residential development occurred in the City of Napa as business and industry gained success in the late nineteenth century. Widespread residential development occurred in the neighborhoods immediately surrounding Downtown, but a number of residences were constructed within the downtown itself starting in the early 1870s. Napa featured a wide variety of residential building types ranging from mansions to farmhouses, flats, and cottages, often on the same block. Residential buildings of all sizes were almost exclusively single-family homes of wood-frame construction, and most also had wood siding and gable or hip roofs. Popular architectural styles in Victorian-era Napa included Greek or Gothic Revival, Italianate, Stick, Queen Anne, Second Empire, and vernacular styles. Houses expressed these styles in three ways: some followed popular styles in form and detail, others used standard vernacular models and added fashionable ornamentation, and many were constructed with little or no decoration. Most residences were designed by local builders either using pattern books or simply based on previous experience, but the most sophisticated, ornate designs were the work of architects.58
Many of the houses in Downtown Napa were constructed for the city’s elite, many of whom had profited from mining, real estate, or other early entrepreneurial endeavors. Many affluent Napans lived on Coombs, Randolph, Franklin, School, Division, and Church streets, as commuting more
52 Weber, Napa, 46-47. Napa, the Valley of Legends, 11-12. Gordon Eby, “Enjoy Olde Napa” (unknown, 1979), 12. Lauren Coodley, “A Tannery in Town,” Napa Valley Marketplace (March 2006).
53 Napa, the Valley of Legends, 11-12. Weber, Napa, 50-51, 107. Kilgallin, 30.
54 Kernberger, Mark Strong’s Napa Valley, 28.
55 Sanborn Fire Insurance Maps (1886).
56 Napa, the Valley of Legends 11-12. Kilgallin, 9.
57 Sanborn Fire Insurance Maps, 1891.
58 Bloomfield, 11-13. Donald Napoli, Napa Abajo/Fuller Park Historic District (National Register Nomination Form, 30 September 1996), 104-106.
than a few blocks was a hardship due to the poor condition of the roads. For example, the Italianate villa at 833 Franklin Street was constructed circa 1872 by Robert Sterling, a mining partner who would go on to become a director of the Napa State Hospital.59 Executives of Sawyer Tannery, bank directors, steamboat captains, and other prominent businessmen settled in Napa Abajo, which spills over into the southern edge of the survey area.60 The Italianate style J.M. Nichols House at 1652 Third Street (1879) was designed by architect Ira Gilchrist, and was one of many such fashionable residences along this stretch of Third Street. The stretch of Main Street north of the commercial district had become a residential district for downtown merchants by the turn of the century, and homes there were more modest in scale and decoration than the larger homes in Fuller Park and Napa Abajo.61 The Oxbow developed as a working-class neighborhood because of its proximity to the East Napa factories and the Napa River, and residences in that area were simple wood-frame dwellings or boarding houses. The Downtown Napa survey area therefore contains residential resources ranging from twenty-room mansions to two-room “hall-and-parlor” houses, with most falling somewhere in between.62
Fifth and Division streets, looking East, ca. 1905. Note the E.R. Gifford House at 608 Randolph Street (1890) and the Robert P. Lamdin House at 590 Randolph Street (1895) visible along the unpaved streets.
 
    (Kernberger, Mark Strong’s Napa Valley, 37)
Today, examples of homes from the Victorian era remain south and west of the commercial downtown along First and Third streets between Coombs and School streets; Franklin Street between Second and Third streets; and near the corner of Randolph and Division streets. A few simple Victorian-era cottages are also located along First and Water streets in the Oxbow District.
As more families with school-age children settled in Napa, a better public education system was established, and many schools were constructed in Downtown Napa. Besides a few early one-room schoolhouses and small private schools, the community’s first eight-year grammar school, the Central School, was dedicated in 1868 on a property which is now the site of Napa’s City Hall. Other early schools included the Polk Street School (later called the Washington School and currently the Blue Oak School) and the Main Street School (also known as Lincoln School). In the 1890s, the need for
59 Weber, Old Napa Valley: The History to 1900, 212.
60 Bloomfield, 11. Weber, Old Napa Valley: The History to 1900, 209.
 
    61 Kilgallin, 12-16.
62 Napoli, Napa Abajo/Fuller Park Historic District, 1-2.
Napa City looking west from the courthouse, ca. 1860. (Online Archive of California)a public high school was recognized, and the first co-educational high school was established in 1897. Napa’s first post-secondary institution was the Napa Collegiate Institute, established in 1860, but closed in 1896 due to financial difficulties.63 The Napa Business College was established on the west side of Main Street between First and Pearl streets in 1893-1894 by Harry Lawrence Gunn. Gunn came to Napa in the late 1870s and headed the Business Department of Napa College before organizing the Napa Business College. Students at the college had a choice of two curriculums: Business or Shorthand, and were required to set up and operate an imaginary business. The top floor of the Business College held the largest classroom in the city (as of 1900), and the bottom floor was occupied by commercial uses.64
Along with the development of education in Napa County, libraries, churches, fraternal organizations, and other social services were established in the Downtown survey area. The first library in Napa County was opened in 1870 with a private collection of 1,000 books, and was made free in 1885. The first church in Napa was the Presbyterian Church, established in 1853 and expanded in 1875. In 1858, Methodist, Episcopal, and Catholic churches were added. Others included a Baptist church in 1860, Christian Church in 1870, Advent Christian Church in 1880, and Salem Evangelical Church in 1880.65 One of many social venues completed at this time was the Napa Opera House, constructed on Main Street in 1879 by architect Ira Gilchrist and offering a wide range of performances to the community.66
 
    The development of railroads in Napa was essential to the growth of the Downtown Napa survey area and the entire city during the Victorian era. Enthusiasm for a railroad project first gained momentum in 1863 when there was talk of building a railroad from Vallejo to Calistoga. The following year, the county gained funding for the project, and a steam railroad line was built from the town of Soscol (south of the city) north 4.5 miles to Napa City for an estimated cost of $100,000.
 
    Named the Napa Valley Railroad, the new line was completed in July 1865.67 In Napa City, the
63 Napa, the Valley of Legends, 23.
64 Kernberger, Mark Strong’s Napa Valley, 21.
65 Bloomfield, 8.
66 Kernberger, Mark Strong’s Napa Valley, 22.
67 Swett, 16. Napa, the Valley of Legends, 79-80.
Central School (1868), at First and School streets (no longer extant). Photo circa 1875. (Verardo, 64) Napa Business College (1893, demolished 1973) on Main Street. Photo circa 1900. (Kernberger, Mark Strong’s Napa Valley, 21)tracks initially ran along Main Street to Fourth Street, then along Division Street to Jefferson Street along a raised bed that hindered development to the west.
The Napa Valley Railroad was extended north to Jefferson Street (then called Calistoga Avenue) in 1868, and was extended south to Napa Junction—a tiny town near present-day American Canyon— the following year, where it met up with other local rail lines.68 With the completion of the first transcontinental railroad in 1869, there was fierce competition over transportation and shipping nationwide, and the steam railroad, combined with ferry service, linked Napa City with the rest of the country and provided the primary mode of transportation until electric trains were introduced at the turn of the century.69 In 1875, the Napa Valley Railroad was acquired by the Southern Pacific Railroad, with passenger depots located in East Napa (Fourth and Soscol) and West Napa (California Avenue at Stockton Street). The arrival of the railroad in Napa facilitated development in Downtown because it provided convenient transportation for residents and services.
Travel along the roads to St. Helena, Calistoga, and Sonoma was also improved.70 Within the city itself, some streets were graded and had gravel surfaces, although few were fully paved. Shade trees were planted along the residential streets, making the city a more pleasant place to live than it had been during the Gold Rush.71 Residents also planted palm trees in their yards, many of which are still found surrounding Victorian homes today; palms were a symbol of wealth because they were suggestive of exotic travel, a luxury available only to the rich in the Victorian era.72
Bridges in the city were also enhanced, with stone bridges replacing the wooden ones that continually collapsed during winter floods. Beginning in the 1860s, heavy timber and metal truss bridges were the most common types in the United States; however, stone bridges were common in Napa because of the cultural background, quarrying, and stonecutting expertise of its settlers; ready access to stone; the support of local government; and the sense of permanence and sound investment this type of construction evoked.73 The first stone bridge in Napa City was built across the Napa River at First Street in 1860 (destroyed by flood in 1881), with the Main Street Bridge over Napa Creek constructed later that year (still extant).
The Main Street Bridge over Napa Creek (1860) is the earliest extant example of a stone bridge in Napa, and is significant as a rare surviving example of an early masonry arch bridge; the current deck and sidewalks were added in 1985. A large wooden drawbridge at Third Street was also completed in 1873 for $9,000, making Third Street into a major crossing.74 Numerous smaller bridges were established across Napa Creek at Brown, Coombs, Pearl, and Clay streets to facilitate urban development. The historic Pearl Street Bridge across Napa Creek is still extant. Historic stone bridges in Downtown Napa are likely to be significant as an example of the county’s stone bridge trend and as an example of early transportation planning in the city. They may also be significant for their engineering merit or as the work of master stonemasons, although a higher threshold of integrity may be required to convey this significance of design.
68 Weber, Old Napa Valley, 184.
69 Menefee, 25. Swett, 16. Davis, 31. Coodley and Schmitt, 37. Napa, the Valley of Legends, 79-80.
70 Bloomfield, 28. Menefee, 26. Weber, Napa 34.
73 “Historic American Engineering First Street Bridge over Napa Creek,” 7. Wallace.
The Napa River was prone to flooding, especially in the winter months. Floods destroyed early bridges, the debris from which would dam the river and in turn cause additional damage. Buildings were damaged or destroyed, especially along the waterfront, and numerous historic photographs show the whole town underwater. The Napa River flooded annually in the early years, with particularly notable floods occurring in 1890, 1896, 1907, 1940, 1955, 1986, 1995, 1996, and 2005.75
Along with major transportation improvements, utility services were introduced in Napa in the late nineteenth century. The Napa City Gas Light Company was incorporated in 1867, and built a large gas works to supply the city on a 60’ x 120’ lot on Fifth Street between Main and Brown streets. Gas street lamps were installed throughout the city, and were utilized until they were replaced by electric lights in 1887. The gas works building was demolished in 1889.76 At this time, a new Napa Manufactured Gas Plant (MGP) was constructed south of the survey area on Riverside Drive at Elm Street to supply gas to the city. The plant, which operated from 1889 to 1924, initially utilized coal gasification, but was converted from coal to oil in 1902. The facility was acquired in 1908 by Pacific Gas & Electric (PG&E), and by 1961, all the buildings had been demolished.77 The Napa City Water Company, a private corporation, was organized in 1881 to supply water to the town. Upon its establishment, the Napa City Water Company began building dams and sinking wells, and built a 2,500,000-gallon reservoir on the hillside about one and a half miles from the city. Pipelines were laid to deliver the water to the city, and steam pumps provided sufficient pressure for firefighting. 78 The Napa City Water Company continued to expand its service, and oversaw Napa’s water supply until a municipally-owned water company was established in 1922.79
After the initial arrival of the Spanish, Napa Valley quickly became a culturally diverse region, with Native American, Spanish, Mexican and American groups converging in the area. As Napa County developed in the late nineteenth century, additional cultural groups were introduced. A large, important immigrant group in nineteenth-century California was the Chinese, many of whom came to Napa Valley to work in the quicksilver mines, help lay the Napa Valley Railroad, labor in the vineyards and wine caves, and work as domestic servants. The Chinese population in Napa County increased steadily during this time, and peaked at 905 permanent residents in 1880.
In Napa City, the Chinese community congregated in Chinatown, which began on a small isthmus in Cornwall’s Addition near the junction of Napa Creek and the Napa River and spread east into the bend in the river known as the “ox bow.” Napa City’s Chinatown featured neat rows of simple wooden buildings on stilts separated by walkways, and was inhabited continuously by the Chinese community from 1850 to 1930. The two-story Joss House was a Taoist temple established by a prominent Chinese family, the Chans, which served as the spiritual and social center of Napa’s Chinese community. The Joss House was established in the 1860s with a hand-carved altar brought
75 Weber, Napa. Anthony Raymond Kilgallin, Napa: An Architectural Walking Tour (Charleston, SC: Arcadia Publishing, 2001).
76 Denzil Verardo, Napa Valley: From Golden Fields to Purple Harvest (Northridge, CA: Windsor Publications, 1986), 40-41.
Davis 32. 1978 Survey, Historic Resource Inventory Forms.
77 Parsons/Pacific Gas and Electric Company, “Initial Site Investigation Workplan for the Napa-1 Former Manufactured Gas Plant, Napa, CA” (Unpublished Report, May 2009), 1-1
78 Weber, Napa, 81. Mario J. Torotorolo, “History of the City of Napa Water Supply,” Napa County Historical Society Gelanings, 2:2 (May 1978), in City of Napa Planning Department Archives. Gregory, 158.
79 Sanborn Fire Insurance Maps (1910, 1924). Torotorolo, “History of the City of Napa Water Supply,” 4.
from China, and was dismantled in 1900. Outside of Chinatown, a Chinese Mission and school were established at 28 Franklin Street (no longer extant).
One of the first Chinese businesses in Napa was a laundry, established in 1874 by Sam Kee at 58 North Main Street. Others included a barber shop, grocery, restaurant, and community garden. The Lai Hing Store at 947 First Street was one of the most successful early Chinese businesses; it was operated by the Chan family and was patronized by Chinese and white customers alike. The store was moved to 840 First Street in 1930, and was ultimately demolished in 1965.
Most Chinese immigrants in California were extremely poor, and were subject to discrimination and violence from Americans. In the 1880s, anti-Chinese legislation was adopted by both the state and federal governments, and by the turn of the century, nearly all of the Chinese families who had tried to make a life for themselves in Napa had moved elsewhere. Fires also threatened Napa’s Chinatown: a blaze in 1887 destroyed a number of buildings, and a devastating fire in 1902 destroyed a huge swath of buildings which were never rebuilt, starting the area’s decline. By 1930, only seven families remained in Chinatown, all of whom were relocated as part of a Napa River and China Beach cleanup project funded by the city.80 A plaque commemorating Chinatown was installed on the First Street Bridge.
 
    1891 Sanborn Fire Insurance Map showing “China Town” on the south side of First Street, at the junction of Napa Creek and the Napa River.
North of Chinatown was a “Spanish Town,” located in the northeast portion of downtown, between Napa Creek, West Street, Stuart Street (now Clinton Street), and Edmondson Street (now Yajome Street). Some sources extend Spanish Town as far west as Brown Street, as far north as Vallejo Street, and as far east as the Southern Pacific Railroad right-of-way (now Soscol Avenue). Spanish Town was a notorious area, with a number of murders recorded during the Victorian era. This area also became a red light district in the early twentieth century, with “female boarding houses”—likely bordellos—on Clinton Street at Yajome Street.81
 
    80 Weber, Old Napa Valley: The History to 1900, 194-203. Napa, the Valley of Legends, 15-16. Weber, Napa, 83-85. Coodley and Schmitt, 42-43. Napa County Historical Society Archives.
81 Sanborn Fire Insurance Maps, 1891-1910.
The Chan family in front of Napa’s Joss House, circa 1900. (Weber, Napa, 84)In many California towns, the term “Spanish Town” was used to refer to the Latin Quarter, or areas where Spanish and/or Italian immigrants congregated. It is likely that in Napa, the name had similar derivations. As the Mexican ranchos were sold off to American developers, many of the ranchos’ Spanish-speaking laborers moved into Cornwall’s Addition because of its proximity to industrial uses along Soscol Avenue. Some of the well-known names of Napa’s Spanish Town included Feliz, Carravajal, Ojeda, Topping, Garcia, Fimby, Pacheco, Perada, Everra, Valencia, Juarez, Fries, Higuera, and Carillo. Home to neighborhood dances and festivals, Garcia Hall at the corner of Pearl and West streets (no longer extant) was the cultural center of Spanish Town; the building was named by original owner and builder Nicolas Fires for his friends Joseph and Maria Garcia. 82 In addition to Mexican and Spanish residents, many working-class Italian immigrants settled in or near “Spanish Town,” which was located on the edge of St. John’s. St. John’s Catholic Church at Main and Caymus was a focal point of the Italian community, and was a catalyst for an ethnically diverse working-class residential development in the surrounding blocks.83 However, by the 1930s, many of the neighborhood’s original residents had moved away, and Spanish Town was no longer the close-knit community it had once been.
 
    Napa’s most prominent and prolific architect was Luther M. Turton (1862-1925), who designed residential and commercial buildings in a variety of architectural styles for Napa’s leading citizens. Turton was born in Nebraska and moved to Napa with his family at the age of fourteen. After working briefly for G. McDougall & Sons in San Francisco, Turton opened his own office in Napa in 1887. Turton’s work was concentrated in the city of Napa, and he designed buildings in all the architectural styles popular in his time—Queen Anne, Classical Revival, Craftsman, Prairie, Shingle, Mission Revival, and Gothic Revival, among others. Since Turton was so versatile and his designs inspired other local contractors and architects, his work is hard to categorize and his buildings are sometimes difficult to identify. Although Turton is not widely known today outside Napa, he was recognized at the time of his death as one of Napa Valley’s foremost architects.84
Left: Luther Turton. (www.sfgate.com)
 Right: Turton’s Semorile Building, circa 1889. (Kernberger, Mark Strong’s Napa Valley, 19)
          82 Napa County Historical Society Archives
          83 Weber, Old Napa Valley: The History to 1900, 204. Napa, the Valley of Legends, 34-35. Weber, Napa, 86-87.
          84 Dave Weinstein, Signature Architects of the San Francisco Bay Area (Layton, Utah: Gibbs Smith, 2006), 35-40. Kernberger, Mark Strong’s Napa Valley, 37.
    Right: Turton’s Semorile Building, circa 1889. (Kernberger, Mark Strong’s Napa Valley, 19)
          82 Napa County Historical Society Archives
          83 Weber, Old Napa Valley: The History to 1900, 204. Napa, the Valley of Legends, 34-35. Weber, Napa, 86-87.
          84 Dave Weinstein, Signature Architects of the San Francisco Bay Area (Layton, Utah: Gibbs Smith, 2006), 35-40. Kernberger, Mark Strong’s Napa Valley, 37.
          Luther Turton’s portfolio is quite extensive, but some highlights include: the Semorile Building at 975 First Street (1888), the Winship Building at 948 Main Street (1888), the Gifford House at 608 Randolph (1890), the Noyes-York House at 1005 Jefferson Street (1892), the Robert P. Lamdin House at 590 Randolph Street (1895), the Migliavacca House at 1475 Fourth Street (1895), the Behlow Building (1900, demolished 1977), the Goodman Library at 1219 First Street (1901), the Noyes Mansion at 1750 First Street (1902), the Migliavacca Building at 1116 First Street (1904, demolished 1973), the Mathis Building at 1032 Main Street (1906), the First United Methodist Church at 601 Randolph (1916), the Henry J. Manasse House at 845 Jefferson Street (1917), and nearly a dozen residences along First Street (1890s-1910s).85
William H. Corlett (1856-1937) was another Napa architect and co-owner of the Enterprise Planing Mills on Third Street. Corlett designed a number of prominent buildings in Napa, and was especially influenced by the Shingle style and Frank Lloyd Wright’s Oak Park designs. Some of his betterknown works located in the Downtown Survey area include the F. Martin building at 816 Brown Street (1904), the Fagiani Building at 813 Main Street (1908), the Alexandria Hotel at 840-844 Brown Street (1910), and the Franklin Station Post Office at 1351 Second Street (1932-33).86
Numerous other local and Bay Area architects also worked in Victorian-era Napa, including C.L. Hunt, Ernest Coxhead, William Henry Weeks, the Newsom Brothers (Samuel and Joseph) and their local representative Ira Gilchrist, Daley & Eisen, Wright & Saunders, and John Marquis. Prominent builders who executed many of the designs of these architects included E.W. Doughty, Theodore Belnap, William Coffield, and James B. Newman, among others. However, it was only Napa’s largest and most prominent buildings that were typically architect-designed; most of the small cottages and shops were simply executed by contractors and builders based on current trends and their previous experience.87
Development during the Victorian era (1860-1899) is important because it was during this time that Downtown Napa transitioned from a stop on the way to the mines in which travelers could obtain supplies or room and board, to an established town with commercial, residential, and civic and institutional resources. Downtown Napa represented the commercial, residential, and civic center of Napa during this period. Commercial businesses that had once supported miners expanded to incorporate resources to support full-time residents. Stores and financial institutions centered on Main Street and were typically designed by local architects such as Luther Turton and William Corlett and were constructed of materials such as local stone and brick, which reflected their permanence. Large single-family homes were also constructed in Downtown Napa for the families of prominent Napa businessmen. These homes, which were both designed by local architects and constructed based on pattern books, were located on Coombs, Randolph, Franklin, School, Division, and Church streets. Smaller, more modest residences were also constructed in proximity to factories and warehouses located in the Oxbow neighborhood to house workers. Industrial operations, primarily fueled by agricultural production in areas which bordered Downtown Napa, were located in the Oxbow neighborhood and were south of Third and Main streets. Civic and institutional buildings were also established during the Victorian Era to support the newly founded town. The Napa County Courthouse was completed in 1878 and several churches were built to support the new residential neighborhoods which bordered the commercial downtown. Historically, a Spanish Town and Chinatown were located in the northeast portion of downtown, near the Oxbow neighborhood
85 Ibid., Bloomfield, 16.
86 Kilgallin, 49. Bloomfield, 14.
87 Bloomfield, 14-16. Kernberger, “The Migliavacca Building,” 4-5.
between Napa Creek and Edmondson (Yajome) Street, which illustrate themes of cultural and ethnic diversity in early Napa. There were also Chinese businesses located on the edge of the downtown commercial area. Many Victorian-era buildings have been demolished over the years, but the commercial, residential, civic and institutional, and industrial buildings which remain in Downtown Napa represent the transition of Napa into a permanent town.
Residential, commercial, civic, and institutional property types from the Victorian era remain in the Downtown Napa survey area. Today, only one Victorian-era industrial property, the Hatt Building and complex, remains. There are two arched stone bridges across Napa Creek—Main Street Bridge and Pearl Street Bridge—extant within the survey area, although both have been altered. There do not appear to be any agricultural properties extant within the survey area.
Properties from the Victorian era reflect the transition in Napa from a town founded to support those on their way to the gold mines to a more firmly established, residential community with families. Initially, downtown Napa contained primarily saloons, boarding houses and hotels such as the Revere House, and banks for the exchange of gold. In the years from 1860 to 1899, the building stock in Napa grew to encompass single-family residences, schools, toy and book shops, and churches.
(Page & Turnbull, August 2010)
As business and industry gained success in the late nineteenth century, the city experienced a period of steady residential growth, with booming construction and expanding city limits. Widespread residential development occurred in the neighborhoods immediately surrounding Downtown, but a number of residences were constructed within the downtown itself starting in the early 1870s.
Victorian-era homes in Downtown Napa include a handful of mansions constructed for the city’s
 
     
     
     
     
     Top Left: Italianate Villa style Robert Sterling House on Franklin Street (1872). Top Center: Nichols House on Third Street (1879). Top Right: Lamdin Cottage on Division Street (1880).
          Bottom Row: High-Style residences at 1580 First Street (1890) and 700 Franklin Street (1897), left and center, respectively, and a simple worker’s cottage at 718 Water Street in Oxbow (1870).
    Top Left: Italianate Villa style Robert Sterling House on Franklin Street (1872). Top Center: Nichols House on Third Street (1879). Top Right: Lamdin Cottage on Division Street (1880).
          Bottom Row: High-Style residences at 1580 First Street (1890) and 700 Franklin Street (1897), left and center, respectively, and a simple worker’s cottage at 718 Water Street in Oxbow (1870).
          elite, as well as simple working-class cottages. Most importantly, though, the form of neighborhoods and individual homes from this era reflected the relative prosperity of Napa and the social values of the community. Today, residential properties from the Victorian era are clustered south and west of the commercial downtown along First and Third streets between Coombs and School streets; Franklin Street between Second and Third streets; and near the corner of Randolph and Division streets. A few simple Victorian-era cottages are also located along First and Water streets in the Oxbow District. There were also a number of Victorian-era residences originally located in the Downtown survey area that were moved into other neighborhoods in recent years in response to development pressures (see page 84).
Victorian era residential buildings in Downtown Napa were typically one- and two-story single-family homes and were almost exclusively wood-frame construction, with wood cladding, ornament, and finishes, including wood shingle and horizontal siding. Victorian-era architectural styles commonly represented on residences in the survey area include Greek or Gothic Revival, Italianate, Second Empire, Stick/Eastlake, Queen Anne, and vernacular styles. Houses express these styles in three ways: some followed popular styles in form and detail, others used standard vernacular models and added fashionable ornamentation, and many were constructed with little or no decoration. Highstyle examples of homes from this era were often architect-designed, and set the trends for the city’s popular architectural styles.
Victorian-era houses tend to be set back from the lot line at the front and/or rear, allowing space for a yard or garden. Older houses are typically set farther back on their lots and farther apart from neighboring buildings than those in later periods. Some of the grandest homes in the survey area also feature low concrete or stone retaining walls with decorative wrought iron fencing. Some of the Victorian-era homes have associated ancillary buildings—such as water towers, storage sheds, or detached garages (typically later additions)—located at the rear of the lot.
Residential buildings associated with the theme of Victorian-era residential development patterns typically exhibit the following character-defining features:
Single-family home
Location at the outskirts of the commercial downtown
Victorian-era architectural style and form
Set back from lot line
One to three stories
Wood-frame construction
Gable or hipped roof
Wood cladding (shingles or horizontal siding)
Wood ornamentation (simple or elaborate)
Wood-sash windows (typically double-hung)
Wood door (glazed or paneled)
Low concrete or stone site wall with wrought iron fencing
Associated ancillary buildings (e.g. water towers, storage sheds)
Victorian-era residences in Downtown Napa are likely to be significant because they illustrate the Napa’s transition into an established town with full-time residents; were architect-designed or featured pattern book designs; or were constructed for prominent Napa families. In order to be
eligible for listing in the local, state, or national historic register, Victorian-era residential properties must be significant under at least one of the following criteria.
NRHP Criterion A/CRHR Criterion 1/HRI Landmark Criterion A (Events, Patterns and Trends)
A residence from the Victorian era, may be significant under Criterion A/1/A (Events, Patterns and Trends) as a representation of Victorian-era residential development patterns. This could be as part of a speculative tract, or a neighborhood that features a patchwork of ages and styles. Groups of houses that all represent the theme of Victorian-era residential development may also be eligible as a district. A residence from the Victorian era may also be significant under Criteria A/1/A if it is associated with other themes, such as industrial development, agriculture, transportation, or ethnic and cultural diversity.
NRHP Criterion B/CRHR Criterion 2/HRI Landmark Criterion B (Person)
A residence may be significant under Criterion B/2/B (Person) if it is found to be associated with the life of a significant member of Napa’s community, such as a prominent merchant or professional, or an influential civic or community leader. For example, the Robert Sterling House, constructed in 1872 on Franklin Street, is significant for its high architectural style as well as association with Sterling, who initially made his wealth in the lumber industry and later served as one of the first directors of the Napa State Asylum (Napa State Hospital).
NRHP Criterion C/CRHR Criterion 3/HRI Landmark Criteria C & D (Design/Construction, Architect)
A residence may be significant under Criterion C/3/C (Design/Construction) as an example of one of the popular Victorian-era architectural styles (i.e. Greek or Gothic Revival, Italianate, Second Empire, Stick/Eastlake, or Queen Anne); the architectural merit of these resources should be judged by traditional standards, as there are no notable trends specific to Napa’s residential architecture during this period. The large mansions are typically high-style examples of these architectural styles, and would likely be individually significant under this criterion. More modest homes may not qualify individually, but could be considered as contributors to a district. A residence may also be significant under this criterion as the work of a master if it was constructed by a prominent architect or builder, such as Luther Turton, or William H. Corlett.
In order to be eligible for listing in the local, state, or national historic register, a property must retain sufficient integrity to convey its significance as part of the Victorian-era residential development theme. A Victorian-era residence that has sufficient integrity will retain a majority of the characterdefining features listed above.
A property significant under Criterion A/1/A should have integrity of location, design, setting, and feeling at the minimum. These aspects are necessary because a building that is moved from its original location or has lost its historic setting (i.e. a Victorian-era residence surrounded by a modern commercial development) will no longer correctly reference Victorian-era residential development trends. For residential districts, cohesion among the buildings is more important than the design qualities of the individual buildings.
A residence significant under Criterion B/2/B should retain integrity of association, design, and feeling at the minimum because retention of the physical features that convey the property’s connection to a significant person is critical.
Integrity of design, materials, workmanship, and feeling are the key aspects for a property to convey its significance under Criterion C/3/C. If the property is significant under this criterion as an example of a Victorian-era architectural style, it is possible for some materials to be replaced without drastically diminishing the property’s overall integrity, as long as these
alterations are subordinate to the overall character of the building. For example, a residence may retain sufficient integrity if it has undergone minor alterations or additions, while a similar property stripped of its wood ornament and re-clad in stucco would not qualify. However, if a property is significant under Criterion C/3/C & D as the work of a master architect, it should retain a high degree of integrity of materials and workmanship.
Integrity consideration for commercial uses: Victorian-era residences which have been converted to commercial use, such as those along Pearl Street, East First Street, or Jefferson Street, are still eligible for listing under all criteria as long as they retain their overall form and architectural character. While such buildings no longer retain their original use, they can still be fine examples of Victorian-era architectural styles, building types, and residential development patterns.
Integrity consideration for moved resources: Victorian-era residences which have been moved— either from outside the survey area or within it—no longer retain integrity of location and cannot contribute to development patterns under Criterion A/1/A. However, a relocated residence may still be able to convey its significance under Criterion C/3/C if its overall form and architectural character are intact.
Integrity consideration for associated outbuildings: Victorian-era residences often contained associated ancillary buildings such as storage sheds. These outbuildings derive their significance from the significance of the residence, and are typically not eligible in their own right. If they retain their overall form, architectural character, and utilitarian nature, these outbuildings can contribute to the overall significance and integrity of the residence as an example of the infrastructure during this time. Thus, under all criteria, a Victorian-era residence which retains its ancillary buildings would be considered to have especially high integrity.
Commercial development in downtown Napa during the Victorian era reflected the economic success of the city and its role as the commercial center of the entire Napa Valley. Downtown was home to all the city’s businesses and services, including groceries, general stores, saloons, hotels, restaurants, and livery stables, among others. Financial institutions were clustered on the Bank Block, on Second between Main and Brown streets. Most early commercial buildings were simple one- to three-story wood-frame buildings. The late Victorian era saw a transition from the woodframe false-front Italianate style commercial buildings of the 1850s to 1870s to more permanent buildings of brick and stone. These materials were used for principal businesses, grain warehouses, banks, and schools, although stables and modest stores were still built of wood.
Commercial properties from the Victorian era are extremely important in the downtown core, although many have been demolished over the years. During the Victorian era, Main Street grew as the mercantile center of the city, but businesses were also located along Third, Second, First, Pearl, and Clinton streets.
Victorian-era commercial buildings tend to occupy the majority, if not all, of the parcel on which they sit. They can be quite elaborate in their design and architectural detailing, especially since they were located at the heart of the city and were intended to represent early commerce and prosperity. High style architecture is prevalent and buildings designed in the Italianate, Classical Revival, Queen Anne, and Nineteenth Century Commercial styles are common. Victorian-era commercial buildings were often architect-designed—for example, Luther Turton’s Winship Building and Semorile Building (both 1888)—although even those that were not architect-designed show attention to detail in their design and ornamentation. Formal storefronts with large windows and clerestories are common in Victorian-era commercial buildings. The more substantial buildings of the downtown core are commonly constructed in brick masonry, stone, or wood.
Commercial buildings associated with the theme of Victorian-era downtown commercial development patterns typically exhibit the following character-defining features:
 
     
    Commercial use
Location in Downtown Napa Victorian-era architectural style and form
 
     Top Left: The Sam Kee Laundry/Pfeiffer Building on Main Street (1875); Top Right: The Kyser-Williams Block on Main Street (1886); Bottom Left: The Semorile Building (1888), a Napa Landmark designed by Luther Turton. Bottom Right: The Winship Building, also designed by Luther Turton. (Page & Turnbull, August 2010)
    Top Left: The Sam Kee Laundry/Pfeiffer Building on Main Street (1875); Top Right: The Kyser-Williams Block on Main Street (1886); Bottom Left: The Semorile Building (1888), a Napa Landmark designed by Luther Turton. Bottom Right: The Winship Building, also designed by Luther Turton. (Page & Turnbull, August 2010)
          
One to three stories
Wood or masonry (brick or stone) construction Flat or gable roof (often with parapet) Wood or cast-iron storefronts, with large windows and clerestory
Commercial buildings are likely to be significant because they provided a financial foundation for the establishment of the City of Napa; have strong cultural or ethnic associations (such as the Sam Kee Building); or are examples of a Victorian-era architectural style or an architect’s work. In order to be eligible for listing in the local, state, or national historic register, Victorian-era commercial properties must be significant under at least one of the following criteria.
NRHP Criterion A/CRHR Criterion 1/HRI Landmark Criterion A (Events, Patterns and Trends)
Few Victorian-era commercial buildings remain in Napa today, making them particularly significant as resources that demonstrate the city’s growth as the commercial center of the valley. Specifically, a Victorian-era commercial building located in the downtown core may be significant under Criterion A/1/A (Events, Patterns and Trends) as an example of Victorian-era commercial development trends. A property associated with a prominent Victorian-era business may also qualify under this criterion. A Victorian-era commercial property may also be significant under Criterion A/1/A if it is associated with other themes, such as industrial development or ethnic and cultural diversity. For example, the Chinese-owned Sam Kee Laundry on Main Street and the Italian-owned Semorile Building on First Street is each representative of the growth of Napa’s ethnic communities. Boarding houses constructed during the Victorian Era had ethnic associations as well; for example, a German and a Swiss Hotel (no longer extant) were located downtown.
NRHP Criterion B/CRHR Criterion 2/HRI Landmark Criterion B (Person)
A commercial building may be significant under Criterion B/2/B (Person) if it is found to be associated with the life of a significant member of Napa’s community, such as a prominent merchant or professional, or an influential civic or community leader.
NRHP Criterion C/CRHR Criterion 3/HRI Landmark Criteria C & D (Design/Construction, Architect)
A commercial building may also be significant under Criterion C/3/C (Design/Construction) as an example of one of the popular Victorian-era architectural styles; the architectural merit of these resources should be judged by traditional standards, as there are no notable architectural trends specific to Napa’s Victorian-era commercial architecture. A commercial building may also be significant because it embodies the distinctive characteristics of a method of construction; for instance, a building constructed of local stone, such as the Borreo Building or Kyser-Williams Block, may be representative of a notable local material. Many Victorian-era commercial buildings were architect-designed, and thus are likely to be significant under this criterion as the work of a master, such as Luther Turton. Designed by architects Wright & Saunders, the Kyser-Williams Block at 1211 Main Street is an excellent example of stone craftsmanship and included innovations such as galleries lit by skylights.
In order to be eligible for listing in the local, state, or national historic register, a property must retain sufficient integrity to convey its significance as part of the Victorian-era commercial development theme. A Victorian-era commercial property that has sufficient integrity will retain a majority of the character-defining features listed above, although the relative rarity of this building type somewhat lowers this threshold.
A property significant under Criterion A/1/A should have integrity of location, design, setting, and feeling at the minimum. Location in the downtown core is essential, although redevelopment and recent infill construction in Napa’s downtown have already altered the setting of some Victorian-era commercial buildings.
A commercial building significant under Criterion B/2/B should retain integrity of association, design, and feeling at the minimum because retention of the physical features that convey the property’s connection to a significant person is critical.
Integrity of design, materials, workmanship, and feeling are the key aspects for a property to convey its significance under Criterion C/3/C & D. For instance, removal of the cornice or other decorative elements would greatly impact the property’s ability to convey its significance under this criterion. If the property is significant under this criterion as an example of a Victorian-era architectural style, it is possible for some materials to be replaced without drastically diminishing the property’s overall integrity, as long as these alterations are subordinate to the overall character of the building. For example, it is common to find modern storefronts in Victorian-era commercial buildings, as owners updated their buildings to accommodate changing tenants and marketing techniques. However, if a property is significant under Criterion C/3/C & D as the work of a master architect, it should retain a high degree of integrity of materials and workmanship.
Integrity consideration for storefront replacement: As mentioned above, it is common to find modern storefronts in Victorian-era commercial buildings, as owners updated their buildings to accommodate changing tenants and marketing techniques. While the presence of replacement storefronts does not typically preclude a Victorian-era commercial building from retaining integrity, sensitive storefront rehabilitation could raise the building to a level of exceptional integrity. Furthermore, any storefront alterations on Victorian-era commercial buildings should be evaluated to determine whether or not they have gained significance in their own right.
As the city expanded in the Victorian era, civic and institutional uses were needed to support the growing community. Construction of churches, schools, government buildings, and social halls paralleled both residential and commercial development.
Civic uses such as the courthouse and opera house were prominently located downtown to complement the commercial uses and highlight the city’s prosperity. Social halls such as the Odd Fellows Hall and the Masonic Temple were also located downtown, but have since been demolished. Victorian-era schools and churches were primarily located in residential areas so as to be accessible to the community. The schools from this era have largely been demolished: the Central School at Second and School streets is no longer extant, and the only remaining building from the Napa Collegiate Institute is the Ladies’ Hall—a girls’ dormitory at 1556 Polk Street (1874)—located just outside the boundary of the Downtown Napa survey area. ,However, many Victorian-era churches are still standing.
Top Left: Napa County Courthouse (1878), designed by Samuel & Joseph Newsom.
 
    Top Right: Napa Opera House (1879) on Main Street in Downtown Napa.
 
    Bottom Left: First Presbyterian Church (1874) at Third and Randolph streets.
 
    Bottom Right: Christian Advent Church on Church Street (1880), which lacks integrity due to later alterations. (Page & Turnbull, August 2010)
Civic and institutional properties were sometimes associated with ethnic groups. For example, a Chinese Mission (no longer extant) was located at 28 Franklin Street. The Chinese Joss House (no longer extant), located in Chinatown, east of the Napa Creek, was a house of worship within the Chinese community. Just outside the survey area boundaries, St. John’s Catholic Church (1881, no longer extant) was associated with the Italian-American community.
 
    Civic and institutional buildings from the Victorian era were typically architect-designed, and were monumental in form and detailing. Civic and institutional properties associated with the Victorianera residential development primarily include schools and religious properties, while properties associated with the theme of Victorian-era commercial development primarily include government and community properties. Like residences, civic and institutional properties from this era are primarily wood-frame or masonry construction, two to three stories in height, and feature the various architectural styles of the time. Gothic Revival was a popular architectural style for churches, while
civic buildings—and according to historic photographs, schools—were often rendered in Italianate, Stick/Eastlake, or other common styles from this period. One of the earliest churches, the First Presbyterian Church at 1333 Third Street, was constructed in 1874 and designed in the Gothic Revival style. Located near the downtown core, it marks a transition between the commercial center and more residential areas. Government buildings, such as the Napa County Courthouse, were designed in Classical Revival, Queen Anne, Italianate and Nineteenth Century Commercial styles.
Civic or institutional buildings constructed during the Victorian-era typically exhibit the following character-defining features:
Civic or public use
 Location in Downtown Napa
 Classical or Victorian-era architectural style and form
 One to three stories
 Wood or masonry (brick or stone) construction
Victorian-era civic or institutional properties are likely to be significant because they represent the facilities constructed to support the newly incorporated City of Napa, or are exceptional examples of a Victorian-era architectural style or architect’s work. In order to be eligible for listing in the local, state, or national historic register, Victorian-era civic or institutional properties must be significant under at least one of the following criteria.
NRHP Criterion A/CRHR Criterion 1/HRI Landmark Criterion A (Events, Patterns and Trends)
Victorian-era civic and institutional buildings are particularly significant as resources that demonstrate the city’s explosive growth during this era. Specifically, a Victorian-era civic or institutional building located in the downtown core or a historic residential neighborhood may be significant under Criterion A/1/A (Events, Patterns and Trends) as an example of the city’s early government or community development. A Victorian-era civic or institutional property may also be significant under Criterion A/1/A if it is associated with other themes, such as ethnic and cultural diversity. For example, designed in 1878 by Ira Gilchrist, the Napa County Courthouse demonstrates the development of the City of Napa as County Seat.
NRHP Criterion B/CRHR Criterion 2/HRI Landmark Criterion B (Person)
A civic or institutional building may be significant under Criterion B/2/B (Person) if it is found to be associated with the life of a significant member of Napa’s community, such as a prominent civic or religious leader.
NRHP Criterion C/CRHR Criterion 3/HRI Landmark Criteria C & D (Design/Construction, Architect)
A civic or institutional building is likely to be significant under Criterion C/3/C (Design/Construction) as a high-style example of one of the popular Victorian-era architectural styles (i.e. Gothic Revival, Italianate, Stick/Eastlake, or Classical Revival); the architectural merit of these resources should be judged by traditional standards, as there are no notable architectural trends specific to Napa’s Victorian-era civic or institutional architecture. Most Victorian-era civic or institutional buildings were architect-designed, and thus are likely to also be significant under this criterion as the work of a master, such as Luther Turton or Ira Gilchrist.
In order to be eligible for listing in the local, state, or national historic register, a property must retain sufficient integrity to convey its significance. A Victorian-era civic or institutional property that has
sufficient integrity will retain a majority of the character-defining features listed above, especially its civic or institutional function.
A property significant under Criterion A/1/A should have integrity of location, design, setting, and feeling at the minimum. Civic or institutional properties should retain a physical proximity to the community that they were intended to serve. For example, a government building moved out of the downtown core might lose integrity once it is disconnected with the city center.
A civic or institutional building significant under Criterion B/2/B should retain integrity of association, design, and feeling at the minimum because retention of the physical features that convey the property’s connection to a significant person is critical.
Integrity of design, materials, workmanship, and feeling are the key aspects for a property to convey its significance under Criterion C/3/C & D. For instance, a spire is a characterdefining feature on many church buildings, and its removal could potentially make the building indistinguishable from a social hall or other community building; similarly, the loss of a Classical portico entrance on a courthouse could obscure its identity as a government building. If the property is significant under this criterion as an example of a Victorian-era architectural style, it is possible for some materials to be replaced without drastically diminishing the property’s overall integrity, as long as these alterations are subordinate to the overall character of the building. However, in cases where the significance of the property is derived solely from its unique architecture or the property has distinctive features that link it to a master architect or builder, integrity of materials and workmanship are especially important.
Manufacturing and industrial development in the Victorian era occurred primarily to the northeast and south of Downtown Napa, in the Oxbow neighborhood and at the foot of Main Street, respectively. A glue manufacturing company and the McBain Tannery were located in the northern portion of the Oxbow neighborhood on the Napa River. A “Spanish Town” and the Chinatown were located just south of these industries. To the south of downtown, below Third Street, stood Albert Hatt’s Warehouse, the Napa City Mills, the Enterprise Planing Mill (designed by W.P. Corlett), and the Napa Growers buildings. The James Boggs and Knapp lumber yards supplied the planing mill. Also located in the area were the Andruan and Migliavacca Wine Companies, which owned warehouses.
The Hatt Building, located just south of the intersection of Fifth and Main streets, is the only Victorian-era industrial property extant in Downtown Napa today. Captain Albert Hatt commissioned construction of the warehouse to store hay, grain, wood and coal. The upper story of the warehouse was used for dances and at one time held a roller rink.
 
    The Hatt Building and surrounding complex is listed in the National Register of Historic Places and is designated on the Napa HRI as a Landmark Property. The complex is significant because it exemplifies Napa’s development as a hub for manufacturing agricultural-related products, especially along the industrial wharf, and is an excellent and rare example of a Victorian-era warehouse in Napa. Its significance and integrity therefore need not be further evaluated here.
Hatt Building and Complex, located at Fifth and Main streets (1884-1893). (Page & Turnbull, August 2010)Establishment of infrastructure was an important development during the Victorian era, and bridges were a key component in the flood-prone city. Napa was the “County of Stone Bridges,” and a number of bridges were constructed in Downtown Napa to support the city’s booming commercial activities. There are only two bridges from this era within the Downtown Napa survey area known to be extant today.
Bridges from the Victorian era were typically designed by civil engineers or master stonemasons. As was typical throughout the county, bridges within the survey area were constructed of native stone, using arches to span creeks and rivers. The arches have prominent voussoirs, sometimes with decorative or oversized keystones. The common width of the city’s stone bridges was 18 feet, with a three- to four-foot parapet or balustrade. In most cases, though, the roadbed and railings have been replaced with modern materials atop the original arched structure.
Bridges constructed in Napa during the Victorian era typically exhibit the following characterdefining features:
Location in Downtown Napa
Spans Napa Creek or Napa River
Stone masonry construction
Prominent arch or arches
Decorative keystone and/or voussoirs
Parapet or balustrade
Associated stone retaining wall (optional)
Victorian-era stone bridges are likely to be significant because they represent the county’s stone bridge trend, or are an example of engineering or workmanship techniques. In order to be eligible for listing in the local, state, or national historic register, Victorian-era bridges must be significant under at least one of the following criteria.
Left: Pearl Street Bridge across Napa Creek (circa 1900). Right: Main Street Bridge across Napa Creek (1860). (Page & Turnbull, January 2011)NRHP Criterion A/CRHR Criterion 1/HRI Landmark Criterion A (Events, Patterns and Trends)
Although the largest and most elaborate examples of stone bridges are located in the rural areas of Napa County, a Victorian-era stone bridge located in the downtown core or a historic residential neighborhood may be significant under Criterion A/1/A (Events, Patterns and Trends) as an example of the county’s unique stone bridge trend, as well as early transportation planning within the City of Napa. For example, the Main Street Bridge is likely to be significant as the earliest extant example of a stone bridge in Napa, a county famous for its stone bridges.
NRHP Criterion B/CRHR Criterion 2/HRI Landmark Criterion B (Person)
A Victorian-era bridge may be significant under Criterion B/2/B (Person) if it is found to be associated with the life of a significant member of Napa’s community. Engineers, surveyors, and stonemasons associated with a bridge will more likely be represented under Criterion C/3/C than Criterion B/2/B.
NRHP Criterion C/CRHR Criterion 3/HRI Landmark Criteria C & D (Design/Construction, Architect)
A Victorian-era stone bridge is likely to be significant under Criterion C/3/C (Design/Construction) as an example of engineering techniques, construction methods, and workmanship from this period. Many Victorian-era stone bridges were designed by a prominent engineer or stonemason, and thus are likely to also be significant under this criterion as the work of a master, such as J.B. Newman or H.W. Wing.
In order to be eligible for listing in the local, state, or national historic register, a property must retain sufficient integrity to convey its significance. A Victorian-era stone bridge that has sufficient integrity will retain a majority of the character-defining features listed above.
A property significant under Criterion A/1/A should have integrity of location, design, setting, and feeling at the minimum. For bridges eligible under this criterion, some changes to the roadway may be possible, as long as historic fabric has not been removed and the character of the bridge remains evident.
A civic or institutional building significant under Criterion B/2/B should retain integrity of association, design, and feeling at the minimum because retention of the physical features that convey the property’s connection to a significant person is critical.
Integrity of design, materials, workmanship, and feeling are the key aspects for a property to convey its significance under Criterion C/3/C & D. For instance, changes to the roadway that have removed historic fabric, altered the character of the bridge, or obscured the historic arch from view at the street level may prevent the bridge from conveying its significance under this criterion. Additionally, in cases where the significance of the property is derived from its association with a master architect or builder, integrity of materials and workmanship are especially important.
Integrity consideration for rarity: As mentioned above, there are only two extant examples of Victorian-era stone bridges in Downtown Napa. These stone bridges should be compared to other examples outside the survey area when considering their integrity. The rarity and poor condition of other extant examples may justify accepting a greater degree of alteration, provided that enough of the subject bridge survives to be a considered a significant resource. Even if the bridges do not have sufficient integrity to qualify for the National or California registers, they are likely to qualify as a Napa HRI Landmark Property as one of the few remaining examples of this property type.
By the turn of the twentieth century, Napa had grown into a self-sufficient town with successful industries, businesses, and residents. Still tied to its agricultural roots, Napa had a population of 5,500 in 1905.88 Over the next two decades, the arrival of interurban electric railroads would link Napa to Vallejo, San Francisco, and the rest of the Bay Area, boosting its economy and encouraging residential growth through World War I. The incorporated city limits expanded several times during this era to accommodate the new residential construction, although the entirety of the Downtown survey area was included in the original city limits as incorporated in 1872.
1907 map of the City of Napa. (Darms, 108)
 
    In an effort to bring vitality to a sagging economy at the turn of the century, Napa city officials granted a charter to the Vallejo, Benicia & Napa Valley Railroad Company to develop an interurban electric railroad in 1901. The Vallejo, Benicia & Napa Valley Railroad Company (VB&NV) was organized by Colonel J.W. Hartzell and H.F Hartzell, brothers from Kansas who had gained renown building a pioneer interurban line from San Francisco to San Mateo. Colonel Hartzell was also instrumental in obtaining state legislation legalizing the use of electricity to power streetcars. The
88 Kernberger, Mark Strong’s Napa Valley, 1.
VB&NV was designed to improve regional commuter transportation, and called for fast electric cars to run from Napa through Vallejo to Benicia, where passengers could connect with rapid ferry service to San Francisco operated by Monticello Steamship Company. The line did not ultimately continue to Benicia, and the ferry terminal in Vallejo was used instead. By 1903, the financing for the interurban railroad had been secured and construction began in Napa later that year. As was common with electric railroads, the VB&NV route followed the county road (Soscol Avenue), and the process of laying the tracks included improving the grading and surfacing of the road itself.89
Interurban rail service began in July 1905 carrying passengers and freight from Vallejo. Through the city of Napa, the tracks ran up Soscol Avenue to its depot at Third Street, turned west on Third Street, and proceeded north on Jefferson Street. By the time service began, the Third Street drawbridge had been improved to accommodate the electric rail cars, sparing the VB&NV the major expense of constructing its own railroad bridge. The VB&NV depot (no longer extant) was located on the southeastern corner of Soscol Avenue and Third Street, across from the Palace Hotel and the Southern Pacific depot. The depot was constructed by local builder E.W. Doughty in 1905 after a majority of the rail lines had been laid, and included a Mission Revival-style station, a 150-foot car barn, a machine shop, and an electrical substation.90 In 1905, it took about 45 minutes to ride from Napa to Vallejo, and another two hours from Vallejo to San Francisco. Fares ran sixty cents for a round trip to Vallejo, and $1.35 round trip to San Francisco.91
 
    In 1906, a new company called the San Francisco, Vallejo & Napa Valley Railroad Company (SFV&NV) was formed to expand service northward. Under the new company organization, tracks were completed to St. Helena in 1908. Originally in competition with the VB&NV, the two companies ultimately merged in 1910. Because of financial troubles in 1911, the railroad was sold and reorganized as the San Francisco, Napa & Calistoga Railway Company (SFN&C), which extended the tracks further north to Calistoga in 1912.92
89 Swett, 27-32. Kernberger, Mark Strong’s Napa Valley, 5
90 Swett 52-64. Kernberger, Mark Strong’s Napa Valley, 5.
91 Swett, 88.
92 Ibid., 106-120.
The Vallejo, Benicia & Napa Valley Railroad Company interurban railroad depot at Third and Soscol, circa 1905 (no longer extant at this location). (Swett, cover image)The introduction of the interurban railroad had a huge impact on the development of Napa. For the first time, people were provided with comfortable, fast, dependable transportation, and by 1912, residents of the entire valley relied on the interurban railroad for business and leisure travel. The fashionable Napa Valley resorts and summer estates were finally easy to access, and shipping was facilitated. The railroad also provided hundreds of jobs, and the company payroll was an important boost to the growing economy. Most importantly, the introduction of the interurban railroad spurred residential development in the city of Napa, allowing it to become a bedroom community for workers with jobs in Vallejo and San Francisco.93 Furthermore, the economic boost and the residential development caused by the railroad also led to corresponding commercial development in the downtown core.
The growth of single-family neighborhoods established during the Victorian era continued after the turn of the twentieth century, although residential construction slowed during World War I. Napa neighborhoods, including Downtown, continued to feature a mixture of large and small houses rendered in a wide variety of styles. It was common practice during the 1910s and 1920s to subdivide parcels containing large Victorian-era residences to accommodate infill construction of smaller twentieth century bungalows, and there are a number of examples of this practice within the survey area. The diversity of classes and attitudes towards class differences would not disappear until after the war, and neighborhoods that appealed to much narrower socioeconomic ranges were not developed until the 1920s.94 Colonial Revival, Classical Revival, Shingle, and Craftsman styles gained popularity after the turn of the century, and most residential buildings were constructed in one of these styles. Structural systems and siding were still primarily wood. Luther Turton, Napa’s preeminent architect since the 1880s, was responsible for a majority of the grandest homes from this period.95
First Street remained one of the city’s most fashionable thoroughfares, while residential construction on Third Street was sparked by the arrival of the interurban electric railroad. In the Oxbow district, the working-class residential enclave that had sprung up on First Street during the Victorian era continued to grow. At the north end of the survey area residential development was associated with the growth of the St. John’s neighborhood, which primarily contained working-class cottages constructed by Italian immigrants due to the area’s proximity to St. John’s Catholic Church and industrial uses along Soscol Avenue.
Prominent Downtown Napa residences from the early twentieth century included the Noyes Mansion at the corner of First and Jefferson Street, designed by Luther Turton in 1902. This Shingle/Classical Revival style residence was the second house designed by Turton for prominent Napa businessman Joseph Noyes. It features a prominent porte-cochere and an associated carriage house, and was inhabited by the Noyes’ son, Frank, until 1956. Across First Street from the Noyes Mansion is the Craftsman style Katcher House (1915), built for meat cutter Edward Katcher to replace his earlier residence on the same site.
93 Ibid., 179. Bloomfield, 8.
94 Napoli, Napa Abajo/Fuller Park Historic District, 107.
95 Ibid., Bloomfield, 13.
Manufacturing and agricultural-related industries continued to fuel Napa’s economic engine after the turn of the century, and a number of new businesses and factories were established, including the Cameron Shirt Company (1901) and the Napa Glove Company (1910). Industrial development was still clustered around the river at the southeast corner of the Downtown survey area and in East Napa, and proximity to rail lines and transit was increasingly important. Industries located in the survey area in the early twentieth century included the Cooper’s Warehouse in the Oxbow neighborhood, which stored grain and flour. The industrial wharf on the west bank of the river was home to the Stoddard Milling Company, Napa Lumber Company, and Uncle Sam’s winery and warehouses.
 
     
    Napa’s downtown commercial area was also growing, but not as rapidly as other Bay Area cities—a matter of great concern to local leaders at the time. The same types of businesses—stores, hotels, saloons, banks—proliferated in downtown Napa. Commercial buildings from this era were largely designed in the Twentieth Century Commercial, Beaux Arts, or Renaissance Revival styles, and were constructed in brick or native stone. During the early twentieth century, Napa’s commercial core began to expand westward from Main Street along First and Second streets. The Behlow Building at Second and Brown streets (1900, demolished 1977), was one of the largest commercial buildings in Napa City. Designed by Luther Turton and constructed by James Newman, the Behlow Building’s original ground-floor tenants were Thompson, Beard & Sons, who were reportedly northern California’s largest department store.96 Another prominent Turton-Newman building was the Migliavacca Building, constructed in 1904 at the corner of Brown and First streets for wine industry pioneer G. Migliavacca. The two-story stone building housed a number of different shops and department stores until it was demolished by the Napa Community Redevelopment Agency in 1973.97 Schwarz Hardware Store on Main Street was built in 1906 to replace the one-story building on the same site that was destroyed by the San Francisco earthquake.98 An important Beaux Arts building was the First National Bank at 1026 First Street, constructed in 1917 as a major part of Napa’s historic banking district.99
96 Kilgallin, 25.
97 Kernberger, “The Migliavacca Building,” Kernberger, Mark Strong’s Napa Valley, 17. Weber, Napa, 68. Kernberger, Mark Strong’s Napa Valley, Kilgallin, 18.
View of Napa, looking southeast from the courthouse, circa 1902. (Kernberger, Mark Strong’29) Brown Street from Third Street in 1908. (Darms, 72)The automobile began to make an impact on the location and type of commercial properties in Downtown Napa during this era. Wagon shops remain at the turn of the century, but by the 1910s, automobile repair shops have cropped up on Main Street, at the northern and southern edges of downtown. Other changes in this period include the introduction of new recreational properties including bicycle shops, a variety of new theaters on Coombs and Randolph, and a natatorium (indoor public swimming pool) at Franklin and Fourth streets.
 
    Chinese businesses also changed during this era. Chinese laundries that were once interspersed throughout the downtown began to disappear in the early twentieth century. In 1901, the Goodman Laundry had replaced one formerly Chinese-owned business, but Chinese laundries were located at the southeast corner of Coombs and First streets and on Third Street between Brown and Main streets. In 1910, Chinese-owned laundries were located at Main and Pearl streets and behind the Napa Steam Laundry at Clinton and Main streets. Warehouses have replaced those laundries formerly on Coombs Street. For the first time, a Japanese-owned laundry was located on First Street between Coombs and Brown. Sanborn Maps identify the former Chinatown as containing “dilapidated buildings.”
On April 18, 1906, at 5:12 a.m., a large earthquake was caused by a rupture of the San Andreas Fault, and is remembered as one of the worst disasters in California history. San Francisco was closest to the epicenter and sustained the most damage from the earthquake and the three-day fire that followed, but all Bay Area cities were affected by the disaster to some degree. In Napa, the earthquake caused major damage to twenty homes and a number of commercial buildings, and local newspapers reported that not a single chimney remained standing. There were no major fires, although electric wires throughout the town snapped, and only a few injuries. Immediately after the earthquake, court sessions were held in the Bank Block as the cupola and roof of the county courthouse had collapsed into the building; city offices were moved into the ground floor of the Goodman Library, which had itself sustained damage to the second floor. The Revere House (1856), a brick hotel known for its drunken disturbances and liquor law violations, was extensively damaged and subsequently demolished, as city officials saw the earthquake as a convenient excuse to remove the troublesome establishment. The south wall of the Opera House collapsed into the adjacent Napa Hotel, and most cupolas and tall towers throughout the city were removed (either due to heavy damage or as a preventative measure against future quakes). Though the city sustained significant damage, all were relieved that there were no deaths, and by July of that year, many banks and businesses had reopened and repairs had begun on most buildings.100
Left: Mathis-Flanagan Building, Main Street (1906); Right: Kyser Block. Photos taken 1908. (Darms, 81) 100 Weber, Roots of the Present: 1900 to 1950, 58-63. Weber, Napa, 64-66. Kernberger, Mark Strong’s Napa Valley, 33.Napans also mobilized quickly to aid fire and earthquake victims in San Francisco, sending supplies and volunteers. Many San Francisco refugees moved to Napa after the disaster; there was a notable influx of Italians from San Francisco’s devastated North Beach neighborhood. Dave Cavagnaro, owner of the Brooklyn Hotel in East Napa, invited refugees of Italian descent to stay free of charge. Many of the Italians who took advantage of Cavagnaro’s offer remained in Napa, increasing the Italian American enclave in numbers and prominence, and becoming important members of the community.101
As in the Victorian era, the construction of churches, schools, and social institutions to serve the community paralleled residential and commercial development. In 1901, George Goodman donated property on First Street for the erection of the city’s first permanent, free public library. The National Register-listed building was designed by Luther Turton and built by James Newman using local stone for an estimated cost of $15,000. The cornerstone was laid on May 2, 1901, and schools and businesses closed for the afternoon so everyone could attend the ceremony. By 1912, the Goodman Library boasted over 10,000 titles, had three librarians, and received city funding.102 The substantial design and community support for the Goodman Library seemed to represent an investment in Napa as its own independent city, not an extension of San Francisco or other Bay Area developments.
 
    101 Weber, Napa 86. Weber, Roots of the Present: 1900 to 1950, 64.
102 Kernberger, Mark Strong’s Napa Valley, 34-35. Gregory, 162.
The Revere House Hotel, destroyed by the 1906 Earthquake. (Kernberger, Mark Strong’s Napa Valley, 33)The Napa Fire Department was also established at this time, officially incorporated by the city from multiple volunteer fire brigades after the 1906 Earthquake.103 The Napa Central School was demolished between 1910 and 1924, but Washington School and the New Napa High School were located within the Downtown Napa Survey area. Other notable early twentieth century community buildings included a public swimming pool on Franklin Street known as “The Plunge” (1905); the Native Sons of Golden West Building on First Street (1914), which included retail, offices, and the organization’s Parlor Hall; the Classical Revival-style Christian Science Church on Polk Street (1915); and the Luther Turton-designed English Gothic style First United Methodist on Randolph Street (1916).104
 
     
     
     
     
    Development during the Early Twentieth Century (1900-1919) is important because it supported residential development patterns established in the Victorian Era and introduced new commercial, industrial, and civic and institutional trends driven by growth spurred by transportation advances, particularly the introduction of the interurban electric rail lines. Residences in the western portion of Downtown Napa were often designed in high architectural styles, sometimes by architects, for middle and upper-class Napans; residences were constructed as infill in this established Victorian-era residential area. Single-family homes built in the Oxbow neighborhood were simpler, vernacular
103 Napa, the Valley of Legends, 63-64. Weber, Napa, 80.
104 Weber, Napa, 80. Richard Kimball and Barney Noel, Images of America: Native Sons of the Golden West (Arcadia Press: Charleston, SC, 2006) 77.
 
     
     
     
     Goodman Library, circa 1902. (Napa Public Library)
          Interior of the Goodman Library, circa 1903. (Kernberger, Mark Strong’s Napa Valley, 35)
          “The Plunge,” now Community Projects Thrift Store, on Franklin Street, circa 1910. (Coodley and Schmitt, 95)
          Native Sons of the Golden West Parlor Hall under construction, 1914. (Kimball and Noel, 77)
    Goodman Library, circa 1902. (Napa Public Library)
          Interior of the Goodman Library, circa 1903. (Kernberger, Mark Strong’s Napa Valley, 35)
          “The Plunge,” now Community Projects Thrift Store, on Franklin Street, circa 1910. (Coodley and Schmitt, 95)
          Native Sons of the Golden West Parlor Hall under construction, 1914. (Kimball and Noel, 77)
          cottages and bungalows, typically not architect-designed, and were designed primarily for Napans working in the nearby industries. Railroad developments prompted the expansion of industries in Napa, though these began to locate outside of the Downtown in East Napa where more open space was available for warehouses and factory complexes. Commercial businesses in Downtown Napa were developed to support the automobile and auto parts and the city’s first repair shops began to appear on Main Street. Cultural and ethnic pressures impacted many of the Chinese laundries, which stood at the edges of the commercial downtown in the Victorian Era. Many of these businesses were replaced by new laundries not affiliated with the Chinese community or were replaced by new warehouses and garages. New social businesses, such as theaters and a swimming facility, were established in the early twentieth century to support recreational activities. Civic services were also established, like the volunteer fire department, to promote public safety. These properties laid the foundation for continued growth and development in Downtown Napa.
Property types from the early twentieth century located in the Downtown Napa survey area include residential, commercial, and civic or institutional properties. There do not appear to be any industrial or agricultural properties from this era extant within the survey area.
 
    In the early twentieth century, residential development primarily occurred in the western portion of Downtown Napa and to the northeast in the Oxbow neighborhood. Residential neighborhoods to the north (St. John’s) the southwest (Fuller Park) and south (Napa Abajo) also continued to expand, supporting patterns of residential development established during the Victorian era.
Larger, more high-style homes tended to be constructed to the west of the commercial downtown while smaller, vernacular-style homes were built in the Oxbow neighborhood. Single-family houses featured wood frames and were rendered in a variety of styles. Owners of high-style homes were
 
     Top row, from left: 618-620 Randolph Street (1905), a residence listed on the National Register; 1031 McKinstry Street (1905), a residence located in the Oxbow neighborhood; Shingle/Classical Revival-style Noyes Mansion at First and Jefferson streets (1902), designed by Luther Turton. Bottom row, from left: 1607 First Street (1905); Craftsman-style house at 1564 First Street (circa 1915); Craftsman-style Katcher House at 1755 First Street (1915). (Page & Turnbull, August 2010)
    Top row, from left: 618-620 Randolph Street (1905), a residence listed on the National Register; 1031 McKinstry Street (1905), a residence located in the Oxbow neighborhood; Shingle/Classical Revival-style Noyes Mansion at First and Jefferson streets (1902), designed by Luther Turton. Bottom row, from left: 1607 First Street (1905); Craftsman-style house at 1564 First Street (circa 1915); Craftsman-style Katcher House at 1755 First Street (1915). (Page & Turnbull, August 2010)
          occupied by wealthier business owners, whereas smaller homes were occupied by working-class families that were typically employed at industrial facilities nearby. Houses from the early twentieth century were interspersed among the existing nineteenth century residences in the western portion of downtown and were constructed in greater density in the Oxbow neighborhood.
As in the Victorian era, primarily single family homes were constructed in the Downtown survey area in the early twentieth century. Homes were typically modest in size, but ranged from smaller working-class homes to mansions owned by business-owners downtown and were rendered in a variety of styles. Structural systems and siding were primarily wood. Architectural styles popular in early twentieth century represented in the survey area include Classical Revival, Shingle, Craftsman, Simple Bungalow, and vernacular styles. Houses were almost exclusively constructed individually, not developed as speculative tracts.
Early twentieth century houses in the survey area tend to be set back from the lot line at the front and/or rear, allowing space for a yard or garden. Some early twentieth century homes have associated ancillary buildings—such as storage sheds, carriage houses, or detached garages (typically later additions)—located at the rear of the lot.
Residential buildings in the Downtown survey area associated with the theme of early twentieth century residential development patterns exhibit the following character-defining features:
Single-family home (modest in size)
Location in the western portion of Downtown Napa & in the Oxbow neighborhood
Early twentieth century architectural style and form
Set back from lot line
One or two stories (or one story with raised basement)
Wood-frame construction
Gable or hip roof
 Wood cladding (shingles or horizontal siding)
Simple wood ornamentation
Wood-sash windows (typically double-hung)
 Wood door (glazed or paneled)
Associated ancillary buildings (e.g. storage shed, garage)
Early Twentieth Century residences are likely to be significant because they are associated with significant persons in Napa, or are exceptional examples of an Early Twentieth Century architectural style, or an architect’s work. In order to be eligible for listing in the local, state, or national historic register, early twentieth century residential properties in the Downtown survey area must be significant under at least one of the following criteria.
NRHP Criterion A/CRHR Criterion 1/HRI Landmark Criterion A (Events, Patterns and Trends)
A residence from the early twentieth century would likely be significant under Criterion A/1/A (Events, Patterns and Trends) as a representation of the survey area’s association with wealthy business owners and with a burgeoning working class to support local industries. Groups of houses that all represent this theme may be eligible as a district; however, these residences were interspersed rather than clustered in more firmly established neighborhoods such as those directly west of the commercial downtown. A residence or group of residences may also be significant under Criterion
A/1/A if it is associated with other themes, such as industrial development or ethnic and cultural diversity.
NRHP Criterion B/CRHR Criterion 2/HRI Landmark Criterion B (Person)
A residence may be significant under Criterion B/2/B (Person) if it is found to be associated with the life of a significant member of Napa’s community, such as a prominent merchant or professional, or an influential civic or community leader. For example, the Noyes Mansion may be significant for its association with Frank Noyes, owner of a prominent Napa lumber yard. However, note that a residence eligible under Criterion B/2/B should be the best or only remaining representation of the person’s influence or achievements and not simply their place of residence.
NRHP Criterion C/CRHR Criterion 3/HRI Landmark Criteria C & D (Design/Construction, Architect)
A residence may be significant under Criterion C/3/C (Design/Construction) as an example of the prominent business owner, may represent the residence of a worker, or may reflect a popular early twentieth century architectural style (i.e. Craftsman or Classical Revival). Residences in Downtown Napa ranged from modest, working-class cottages designed in represent vernacular forms to highstyle examples of these styles. Residences may have been clustered in the Oxbow neighborhood, but were interspersed in the more densely developed area west of the commercial downtown. Those residences designed in more formal architectural styles qualify as individual historic resources, but those constructed in more vernacular forms are more likely to qualify instead as contributors to a district. High-style residences in the survey area are likely to be significant under this criterion as the work of a master architect. For example, the Noyes Mansion was designed by Luther Turton.
In order to be eligible for listing in the local, state, or national historic register, a property must retain sufficient integrity to convey its significance as part of the early twentieth century residential development theme. An early twentieth century residence that has sufficient integrity will retain a majority of the character-defining features listed above.
A property significant under Criterion A/1/A should have integrity of location, design, setting, and feeling at the minimum. For residential districts, cohesion among the building is more important than the design qualities of the individual buildings: however, the Downtown Napa Survey Area does not contain a particularly high concentration of residential buildings.
A residence significant under Criterion B/2/B should retain integrity of association, design, and feeling at the minimum because retention of the physical features that convey the property’s connection to a significant person is critical. Later alterations may not affect the integrity of properties significant under this criterion if the significant person was still connected to the property when the alterations were completed.
Integrity of design, materials, workmanship, and feeling are the key aspects for a property to convey its significance under Criterion C/3/C & D. If the property is significant under this criterion as an example of the workers’ cottage building type or an early twentieth century architectural style, it is possible for some materials to be replaced without drastically diminishing the property’s overall integrity, as long as these alterations are subordinate to the overall character of the building. For example, a residence may retain sufficient integrity if it has undergone minor alterations (i.e. window replacement or alterations to the stairs), while a similar property which had been substantially changed (i.e. stripped of its wood ornament, re-clad in stucco, or given a second story addition) would not qualify.
Integrity consideration for commercial uses: Residences which have been converted to commercial use, such as those along First Street or Jefferson Street, are still eligible for listing under all criteria as long as they retain their overall form and architectural character. While such buildings no longer retain their original use, they can still be fine examples of early twentieth century architectural styles, building types, and residential development patterns.
Integrity consideration for moved resources: Early twentieth century residences which have been moved—either from outside the neighborhood or within it—no longer retain integrity of location and thus do not contribute to development patterns under Criterion A/1/A. However, a relocated residence may still be able to convey its significance under Criterion C/3/C if its overall form and architectural character are intact.
Integrity consideration for associated outbuildings: Early twentieth century residences often contained associated ancillary buildings such as storage sheds or carriage houses. These outbuildings derive their significance from the significance of the residence, and are typically not eligible in their own right. If they retain their overall form, architectural character, and utilitarian nature, these outbuildings can contribute to the overall significance and integrity of the residence as an example of the infrastructure during this time. Thus, under all criteria, an early twentieth century residence which retains its ancillary buildings—such as the Noyes Mansion—would be considered to have especially high integrity.
 
    Napa’s downtown commercial area continued to grow in the first decades of the twentieth century, although not as rapidly as other Bay Area cities. The same types of businesses—stores, hotels, saloons, banks—proliferated in downtown Napa as they had during the Victorian era. However, new commercial properties, such as automobile parts and repair shops also appeared. Like business types were often clustered together: industrial warehouses continued to be constructed south of Third Street and in the northeast portion of the Oxbow neighborhood; a number of saloons lined First Street where it met the Napa River, just west of Chinatown; and automobile shops were constructed at the north and south ends of Main Street, the main thoroughfare through downtown. Financial institutions and shops were concentrated on First, Second, Third, Main, and Brown streets.
 Left: Napa Register Building (1905) on First Street. Right: First National Bank (1900) on First Street. (Page & Turnbull, August 2010)
    Left: Napa Register Building (1905) on First Street. Right: First National Bank (1900) on First Street. (Page & Turnbull, August 2010)
          Commercial buildings from this era tend to occupy the majority, if not all, of the parcel on which they sit. They are typically expressive in their design, but use more reserved styles than those of the Victorian era. Most downtown commercial buildings were architect-designed and were constructed in brick or native stone, while some commercial properties outside downtown featured wood-frame construction. Commercial properties from this era typically have wood or metal storefronts with large display windows and clerestories. Architectural styles primarily include the Twentieth Century Commercial, Beaux-Arts, Romanesque Revival, and Renaissance Revival styles.
Commercial buildings associated with early twentieth century commercial development patterns typically exhibit the following character-defining features:
Commercial use
Location in Downtown Napa
 
    Early twentieth century architectural style and form
Full lot coverage
One to three stories
Wood or masonry (brick or stone) construction
Flat or gable roof (often with parapet)
Wood or metal storefronts, with large windows and clerestory
Often architect-designed
Early Twentieth Century commercial buildings are likely to be significant in Downtown Napa because they are rare examples of commercial development at this time, or are exceptional examples of an Early Twentieth Century-era architectural style or an architect’s work. In order to be eligible for listing in the local, state, or national historic register, early twentieth century commercial properties must be significant under at least one of the following criteria.
As with Victorian-era commercial buildings, many early twentieth century commercial buildings have been demolished (such as the Migliavacca Building and the Behlow Building). Those that remain should be considered significant because they are rare resources. Specifically, an early twentieth
 Left: Mathis-Flanagan Building (1907), which was designed by Luther Turton but has been significantly altered. Alexandria Hotel (1905), which has received a large contemporary addition. (Page & Turnbull, August 2010)
    Left: Mathis-Flanagan Building (1907), which was designed by Luther Turton but has been significantly altered. Alexandria Hotel (1905), which has received a large contemporary addition. (Page & Turnbull, August 2010)
          century commercial building located in the downtown core may be significant under Criterion A/1/A (Events, Patterns and Trends) as an example of commercial development trends during this era. A property associated with a prominent early twentieth century business may also qualify under this criterion. An early twentieth century commercial property may also be significant under Criterion A/1/A if it is associated with other themes, such as industrial development, transportation, or ethnic and cultural diversity. For example, the Italian-owned Fagiani Building (1908) located at 813 Main Street is representative of the growth of one of Napa’s ethnic communities, while a store on Jefferson Street might demonstrate the impact of Napa’s streetcars.
NRHP Criterion B/CRHR Criterion 2/HRI Landmark Criterion B (Person)
A commercial building may be significant under Criterion B/2/B (Person) if it is found to be associated with the life of a significant member of Napa’s community, such as a prominent merchant or professional, or an influential civic or community leader.
NRHP Criterion C/CRHR Criterion 3/HRI Landmark Criteria C & D (Design/Construction, Architect)
A commercial building may also be significant under Criterion C/3/C (Design/Construction) as an example of one of the popular early twentieth century architectural styles (i.e. Twentieth Century Commercial, Beaux-Arts, Romanesque Revival, and Renaissance Revival); the architectural merit of these resources should be judged by traditional standards, as there are no notable architectural trends specific to Napa’s early twentieth century commercial architecture. Many early twentieth century commercial buildings were architect-designed, and thus might also be significant under this criterion as the work of a master architect or builder, such as Luther Turton, William H. Corlett, or Ira Gilchrist. For example, William Corlett designed the Alexandria Hotel at 840 Brown Street and the C.F. Martin Building, also on Brown Street.
In order to be eligible for listing in the local, state, or national historic register, a property must retain sufficient integrity to convey its significance as an early twentieth century commercial development. An early twentieth century commercial property that has sufficient integrity will retain a majority of the character-defining features listed above, although the relative rarity of this building type somewhat lowers this threshold.
A property significant under Criterion A/1/A should have integrity of location, design, setting, and feeling at the minimum. Location in the downtown core or along a streetcar route is essential, although redevelopment and recent infill construction in Napa’s downtown have already altered the setting of some early twentieth century commercial buildings.
A commercial building significant under Criterion B/2/B should retain integrity of association, design, and feeling at the minimum because retention of the physical features that convey the property’s connection to a significant person is critical.
Integrity of design, materials, workmanship, and feeling are the key aspects for a property to convey its significance under Criterion C/3/C & D. Alterations such as the removal of a cornice or other decorative elements would greatly impair the property’s ability to convey its significance under this criterion. If the property is significant under this criterion as an example of an early twentieth century architectural style, it is possible for some materials to be replaced without drastically diminishing the building’s overall integrity, as long as these alterations are subordinate to the overall character of the building. For example, it is common to find modern storefronts in early twentieth century commercial buildings, as owners updated their buildings to accommodate changing tenants and marketing techniques.
However, if the property is significant under Criterion C/3/C & D as the work of a master architect, it should retain a high degree of integrity of materials and workmanship.
Integrity consideration for storefront replacement: As mentioned above, it is common to find modern storefronts in early twentieth century commercial buildings, as owners updated their buildings to accommodate changing tenants and marketing techniques. While the presence of replacement storefronts does not typically preclude an early twentieth century commercial building from retaining integrity, sensitive storefront rehabilitation could raise the building to a level of exceptional integrity. Furthermore, any storefront alterations on early twentieth century commercial buildings—such as the Art Moderne storefronts on the Fagiani Building—should be evaluated to determine whether or not they have gained significance in their own right.
 
     
    As in the Victorian era, the construction of churches, schools, and social institutions to serve the community paralleled residential and commercial development. The National Register-listed Goodman Library is the most prominent downtown civic building from this era; it was constructed in 1901 as the city’s first permanent, free public library. The Native Sons of the Golden West building was constructed downtown in 1914, and still stands as a commercial building today. The Luther Turton-designed Washington Primary School (1909) is still extant on Polk Street, but was dramatically altered in the 1950s; it was sensitively rehabilitated in 2002 as the Blue Oak School, but does not retain sufficient integrity to qualify as a historic resource.
 
     Upper Left: Goodman Library (1901), designed by Luther Turton and constructed by James B. Newman.
          Upper Right: Native Sons of the Golden West Building (1915) located on First Street.
          Lower Left: Christian Science Church (1915) on Polk Street. Lower Right: First United Methodist Church (1916).
    Upper Left: Goodman Library (1901), designed by Luther Turton and constructed by James B. Newman.
          Upper Right: Native Sons of the Golden West Building (1915) located on First Street.
          Lower Left: Christian Science Church (1915) on Polk Street. Lower Right: First United Methodist Church (1916).
          As in the Victorian era, construction of churches, schools, and social institutions to serve the community in the first decades of the twentieth century paralleled the city’s overall development. Most early twentieth century civic and institutional properties were of concrete or masonry (either brick or native stone) construction, were architect-designed, and were monumental in form and detailing. Downtown civic and institutional buildings were commonly designed in the Romanesque Revival, Gothic Revival, or Twentieth Century Commercial styles.
Civic or institutional buildings constructed during the early twentieth century typically exhibit the following character-defining features:
Civic or public use
Location in Downtown Napa or early twentieth century residential neighborhood
Classical architectural style and form
One to three stories
Concrete or masonry (brick or native stone) construction
Early Twentieth Century civic/institutional properties in Downtown Napa are likely to be significant because they represent a new property type, such as a library, or are exceptional examples of an Early Twentieth Century-era architectural style or an architect’s work. In order to be eligible for listing in the local, state, or national historic register, early twentieth century civic or institutional properties must be significant under at least one of the following criteria.
NRHP Criterion A/CRHR Criterion 1/HRI Landmark Criterion A (Events, Patterns and Trends)
Early twentieth century civic and institutional buildings demonstrate the city’s residential and commercial growth during this era. Specifically, an early twentieth century civic or institutional building located in the downtown core or a historic residential neighborhood may be significant under Criterion A/1/A (Events, Patterns and Trends) as an example of the city’s government or community development. An early twentieth century civic or institutional property may also be significant under Criterion A/1/A if it is associated with other themes, such as ethnic and cultural diversity.
NRHP Criterion B/CRHR Criterion 2/HRI Landmark Criterion B (Person)
A civic or institutional building may be significant under Criterion B/2/B (Person) if it is found to be associated with the life of a significant member of Napa’s community, such as a prominent civic or religious leader.
NRHP Criterion C/CRHR Criterion 3/HRI Landmark Criteria C & D (Design/Construction, Architect)
A civic or institutional building is likely to be significant under Criterion C/3/C & D (Design/Construction) as a high-style example of one of the popular early twentieth century architectural styles (i.e. Gothic Revival, Neoclassical, Romanesque Revival, or Twentieth Century Commercial); the architectural merit of these resources should be judged by traditional standards, as there are no notable architectural trends specific to Napa’s early twentieth century civic or institutional architecture. A civic or institutional building may also be significant because it embodies the distinctive characteristics of a method of construction; for instance, a building constructed of local stone, such as the Goodman Library (1901), may be representative of a notable local material.
Most early twentieth century civic or institutional buildings were architect-designed, and thus are likely to also be significant under this criterion as the work of a master, such as Luther Turton.
In order to be eligible for listing in the local, state, or national historic register, a civic or institutional property must retain sufficient integrity to convey its significance. An early twentieth century civic or institutional property that has sufficient integrity will retain a majority of the character-defining features listed above, especially its civic or institutional function.
A property significant under Criterion A/1/A should have integrity of location, design, setting, and feeling at the minimum. Civic or institutional properties should retain a physical proximity to the community that they were intended to serve. For example, an early twentieth century church such as the Christian Science Church might lose its integrity of setting and feeling if it was surrounded by industrial facilities, rather than a residential neighborhood of families with children.
A civic or institutional building significant under Criterion B/2/B should retain integrity of association, design, and feeling at the minimum because retention of the physical features that convey the property’s connection to a significant person is critical.
Integrity of design, materials, workmanship, and feeling are the key aspects for a property to convey its significance under Criterion C/3/C & D. For instance, alterations to the massing, form, or fenestration of the First United Methodist Church would greatly impact the building’s ability to convey its significance as a place of worship. If the property is significant under this criterion as an example of an early twentieth century architectural style, it is possible for some materials to be replaced without drastically diminishing the property’s overall integrity, as long as these alterations are subordinate to the overall character of the building. However, in cases where the significance of the property is derived from unique construction methods (i.e. a building constructed of native stone, such as the Goodman Library) or the property has distinctive features that link it to a master architect or builder, integrity of materials and workmanship are especially important.
In the 1920s and 1930s, Napa was a blue-collar community. Most men worked union jobs at the local factories or at the nearby Mare Island Naval Shipyard.105 Prohibition and the Great Depression greatly curbed economic development in Napa, but limited construction did occur during this era. There was a steady construction of single-family homes in the growing suburbs outside of the Downtown Survey Area. Several new factories were also established, but like much of the residential growth, this did not occur downtown. This era saw a dramatic shift in transportation patterns, and automobile-related businesses such as garages, gas stations, and car dealerships sprang up in Downtown Napa.
Before World War I, prohibition of alcohol became an important political issue spearheaded by religious groups and the temperance movement. These groups advocated for legislation that restricted the production, sale, and transportation of alcoholic beverages for consumption, and Congress responded by drafting the Volstead Act in 1917. The Volstead Act was ratified as the 18th Amendment to the U.S. Constitution in 1919, taking effect in January 1920, and many of the wineries and breweries nationwide were shut down. Grapes and wine had been a mainstay of the Napa County economy for decades, with millions of gallons of wine produced annually. Clearly, Prohibition had an enormous impact on farmers and vintners throughout Napa Valley, and while the city of Napa was more industrial in nature, it shared in the hard economic times of the Valley. Despite Prohibition, some Napa vintners still produced wine to satisfy the steadily climbing, albeit illegal, demand for liquor. Some obtained permits to make sacramental wine, some sold grapes for home wine-making, and others sold their products to bootleggers. In any case, contemporary accounts suggest that Napans were quite creative about circumventing the rules. By the time Prohibition was repealed in 1933, most of Napa Valley’s vineyards were in disrepair, or had been planted with hardy, “shipping tolerant” grapes such as Petite Sirah; for years after the repeal, Napa winemakers typically produced inexpensive red wines.106
As a result of Prohibition, the saloons which historically lined First Street at its juncture with the Napa River were replaced with grocery stores, soda shops, and candy stores. The former Uncle Sam’s Winery operations and warehouses were abandoned and new garages to house automobiles were constructed downtown.
Mare Island Naval Shipyard near Vallejo, just 12 miles south of the Basalt quarry, was a major source of employment for many Napa residents, even during the Depression. Established in the midnineteenth century, Mare Island was engaged in major shipbuilding efforts during World War I, and became one of the Navy’s favorite shipyards. By the 1930s, Mare Island was the largest single industrial plant in Northern California, employing men and women 24 hours a day. In 1932, Napa was home to more than 300 Mare Island workers, who built houses and patronized local banks and establishments.107
In 1936, Julian Weidler established the Rough Rider Clothing Factory on Soscol Avenue between the river and the train tracks. Originally located in San Francisco, Rough Rider offered unionized jobs
105 Coodley, “A River into Which None Can Step Twice,” Napa Valley Marketplace (October 2007).
106 Heintz, 245-284. Napa, the Valley of Legends, 87-88.
107 Weber, Roots of the Present: 1900 to 1950, 206. Coodley and Schmitt, 71. Weber, Napa, 102.
that provided dramatic improvements in wages and working conditions. The company provided an important employment opportunity for young women, who did not have the same options at Mare Island and the Basalt Rock Company as their male counterparts. Napa High began offering industrial sewing classes to teach girls to operate power sewing machines, and eventually over 500 local women—all members of the International Ladies Garment Workers Union—were trained and employed at Rough Rider.108 There were many men’s clothing stores in downtown Napa eager for Rough Rider apparel, including Voorhees, Straus, Albert’s, and Grossman’s.109
The success of the city’s industries, especially the Rough Rider plant and nearby Mare Island spared Napa from some of the worst hardships of the Depression. For those who did not have jobs, there was a local unemployment relief committee run in part by service clubs. The committee sponsored four relief camps just outside the city in summer 1932 where men cut trees and sold firewood. The committee also sponsored donations and assistance with job searches. By 1932, the local relief program registered 1,665 unemployed people in Napa.110 Under Mayor Charles Trower, the city government sponsored civic improvement projects to provide further unemployment relief. In 1932, the narrow Third Street Bridge was replaced with a modern concrete structure suitable for automobile traffic, and the city passed a law that men from Napa County would be the first laborers hired for its construction.111 Many locals also remember being saved from economic disaster by the generosity of the Rough Rider Company, which extended credit to its retail customers.112
Third Street Bridge under construction in 1931 (no longer extant). (Coodley and Schmitt, 99)
 
    A post-World War I building boom meant that residential construction continued during the Roaring Twenties, with the size, style, and layout of the houses beginning to reflect the California bungalow
108 Coodley, “A Tannery in Town,” Napa Valley Marketplace (March 2006). Coodley and Schmitt, 67-69.
109 Coodley, Lauren. Napa: the Transformation of an American Town. Arcadia: San Francisco, 2003, 53.
110 Coodley and Schmitt, 71-72. Weber, Roots of the Present: 1900 to 1950, 207-209.
111 Weber, Roots of the Present: 1900 to 1950, 208.
112 Coodley and Schmitt, 71-72. Coodley, “A Tannery in Town,” Napa Valley Marketplace (March 2006).
fashion and newer architectural trends. Houses from this period were clad in stucco instead of wood, became longer and lower, abandoned front porches, were increasingly oriented away from the street, and featured garages (often detached). Popular architectural styles included Colonial Revival, Spanish Eclectic, Mediterranean Revival, Tudor Revival, and later Art Deco.113 Some multiple-family housing also sprang up at this time. New apartment buildings were constructed during the Prohibition/Depression era at the edges of the commercial downtown, near the Fuller Park and Napa Abajo neighborhoods. A building containing five flats was built at the intersection of Randolph and Third streets, and a 12-unit apartment building was constructed at the corner of Franklin and Third streets. New civic and institutional resources such as churches and schools tended to be located in the new neighborhoods developing outside of downtown during the 1920s and early 1930s such as Spencer’s Addition, Alta Heights, West Napa, and St. John’s, although within the Downtown survey area, a new Full Gospel Mission was located on Randolph Street between First and Second streets (constructed between 1910 and 1924, no longer extant).114
New commercial buildings were also constructed downtown: the 1920s Gordon Building and Merrill’s Building, both constructed on First Street in the Renaissance Revival style; the new Beaux Arts style Bank of Napa (1923, now Wells Fargo); the Art Deco style Oberon Bar at 902 Main Street (circa 1880s, replaced in 1933 after a fire); the Union Service Station at 1501 Third Street (1935); and the Shackford’s Building (1936) at 1350 Main Street infilled the downtown core.115 The Franklin Station Post Office at 1351 Second Street (1932-33) was one of the many federal buildings across the country commissioned by the Works Progress Administration (WPA) to provide employment during the Depression. The building was designed by local architect William H. Corlett, and is the most prominent example of the Art Deco style in Napa.116 As in most American towns, Napa also received its first movie palaces during this era. The 1,500-seat Hippodrome, which later became the Fox, was constructed in 1920 at First and Randolph streets; the Empire Theatre was located on Coombs at First; and the Uptown Theatre on Third Street opened in 1937, with 1,200 seats.117
 
     
    In the 1920s, the Chinatown area between the Napa Creek and Napa River, just east of the commercial downtown, retained its Joss House as well as several wood frame cabins. However, only a few families remained by 1930 due to declining employment opportunities and frequent fires. In 1930, however, the local government relocated the remaining families and issued removal of the
113 Bloomfield, 13. Napoli, Napa Abajo/Fuller Park Historic District, 108.
114 Sanborn Fire Insurance Maps (1924).
115 Kilgallin, 10, 20.
116 Ibid. 29.
117 Coodley and Schmitt, 72-73.
Downtown Napa in the 1930s. (Coodley and Schmitt, 99) Fox Theatre on First Street (1920, no longer extant) (Coodley and Schmitt, 98)“dilapidated” structures in the Chinese community as part of a Napa River and China Beach cleanup project. This action correlates to the disappearance of many of the Chinese-owned laundries that were historically located in the commercial downtown area.
The increased popularity of the automobile brought dramatic changes to Napa’s transportation services and urban form, and by the end of the 1930s, buses and trucks had replaced the city’s railroads and ferries. The construction of several bridges across the San Francisco Bay facilitated regional automobile transportation throughout the Bay Area, including Napa, and eliminated the need for traditional forms of public transportation. The development and improvement of Highway (State Route) 29 further enabled mobility through the Napa Valley. The transition to automobiles as a primary mode of transportation also sparked new types of development in the downtown core, as gas stations and auto repair shops sprang up to service the new vehicle-owning population.
In 1909, a section of the current Highway 29 was established through the means of a bond act and ran from approximately the location of current Route 12 to Route 121, just southwest of Napa. After the County’s acquisition of the Lawley Toll Road in 1922, another lengthy section of the new Highway 29 was defined, running between Vallejo and Napa. The highway was officially designated with State Route signage in 1934, but continued to undergo improvements and further definition. In 1937, the segment connecting the southern end of Highway 29 (at Curtola Parkway in Vallejo) to Interstate 80 was made part of the route. About this time, the highway had reached its full extent and included a section running through the east side of Napa along the current route of Highway 221 and Soscol Avenue, crossing the river at Third Street and continuing through the downtown business district to Jefferson Street, where it then turned north and paralleled the SFN&C tracks before taking its current course again around the present-day intersection of the St. Helena Highway and Redwood Road. From there it continued up-valley to Yountville and beyond. This route remained intact until 1984, when the Napa River Bridge (now known as the George F. Butler Memorial Bridge and constructed in 1977) became the viaduct that rerouted Highway 29 to the west, bypassing downtown Napa and setting Highway 29 on its current course up the west side of the city to connect with the St. Helena Highway. This left Soscol Avenue, Third Street and Jefferson Street as surface streets rather than highway routes, as they are today. The section of the St. Helena Highway, running from Napa to Calistoga, was not made an official part of the Highway 29 route until 1993.118
In addition to transportation routes through Napa, routes to Napa, including the Carquinez Bridge (1927), San Francisco-Oakland Bay Bridge (1936), and Golden Gate Bridge (1937) all played a critical role in serving the valley and the City of Napa. In 1937, the SF&NV was given permission to operate motor truck and bus service directly to San Francisco, and ran the first buses to San Francisco via Oakland in September of that year. The Southern Pacific-Golden Gate Ferries, who had purchased the Monticello Steamship Line, discontinued its Vallejo-San Francisco ferries in 1937. The interurban had its final passenger rail excursion from Vallejo to Napa and return in 1938, and by 1939 the SF&NV had removed the tracks from Napa to Calistoga and abandoned the track and yard in Napa. By the beginning of World War II, only the freight line servicing Mare Island remained.119
118 Napa County Geneaology. “Timeline of Napa County History.” 15 December 2003. Excerpted from From Golden Fields to Purple Harvest. <http://www.cagenweb.com/napa/2napa_chron.htm> (accessed 17 October 2008). California Highways. State Route 29. < http://www.cahighways.Calfironorg/025-032.html#029> (accessed 3 March 2009). Weber, Roots of the Present: 1900 to 1950, 229-234.
119 Swett, 390, 547-548. Coodley, “Listening For Trains,” Napa Valley Marketplace, (October 2006). Napa, the Valley of Legends, 79-80.
Development during the Prohibition and Depression Era (1920-1939) is important because it reflects the impact that passage of Prohibition had on Downtown Napa, and represents new trends related to the increased popularity of the automobile. Development was largely stymied by Prohibition and the economic depression which followed, but a handful of residential and commercial properties were still constructed during this period. Residences constructed during this time were typically modest, single-family homes that were not architect-designed. These new residences were generally constructed as in-fill in the western portion of Downtown Napa and the Oxbow neighborhood, residential areas established in the Victorian and Early Twentieth Century eras. Although some residential buildings were also located in the Chinatown area, located near the intersection of First Street and the Napa River, these buildings were demolished by an urban renewal program in the 1930s. New automobile-related commercial property types appeared in Downtown Napa in the Prohibition and Depression Era, such as garages, gas stations, and movie theatres. However, automobile-oriented commercial development did not fully develop until World War II and the postwar era. Only one civic or institutional property, a Works Progress Administration-funded U.S. Post Office building, was built. Some industrial properties initially developed in the Victorian and Early Twentieth Century eras remained in the Oxbow neighborhood and south of Third and Main streets, but much of Downtown Napa’s industrial business, like its wineries, closed or moved outside the commercial downtown by this time. The Prohibition and Depression Era marked the closure of several of the wine-related industries in Downtown Napa as well as slow civic and institutional development; however, residential and commercial development continued during this time period.
Property types from the Prohibition and Depression era located in the Downtown Napa survey area include primarily residential and commercial properties. One civic or institutional property—the Napa U.S. Post Office—was constructed during this period. There do not appear to be any industrial properties or agricultural properties from this period extant within the survey area.
During the 1920s and early 1930s, residential development continued to build out the Oxbow neighborhood and areas north and west of the commercial downtown. A post-World War I building boom meant that a large number of Napa residences constructed at this time were designed in the size, style and layout of the California bungalow fashion and featured design trends of the Roaring Twenties. Corresponding religious, civic, and social institutions were also constructed as neighborhoods were built out.
Napa’s oldest neighborhoods were largely built out by the beginning of World War I, but a number of homes were built in the 1920s as infill construction on the edges of the Downtown survey area.
Left: High-style Spanish Eclectic residence at 1426 Fourth Street (1930).
Right: High-style Craftsman residence at 1766 Third Street (1922). (Page & Turnbull, August 2010)
 
    A handful of Downtown Napa residences were constructed during the city’s post-World War I building boom. One- and two-story single-family homes were still the predominant residential property type, and most residences from this era were designed in the size, style and layout of the California bungalow. Most residences were still of wood-frame construction, but many were clad in stucco, a cladding material which has been popular since the 1920s. Architectural styles popular in Napa in the 1920s and 1930s include Craftsman, Colonial Revival, Spanish Eclectic, Mediterranean Revival, and vernacular styles. Homes were almost exclusively constructed individually, not developed as speculative tracts.
Houses from this era tend to be surrounded by yard space (i.e.: they do not fill the parcel lot line to lot line). Yard space can be located at the front and/or rear, typically with marginal amounts of space on either side of the building to separate it from its neighbors. As automobiles gained popularity during this period, garages were often included in residential design; many homes featured detached garages located at the side or rear of the lot.
Prohibition-era residential buildings typically exhibit the following character-defining features:
Single-family home
Location in residential neighborhood near former streetcar lines
California bungalow style and form
Set back from lot line
One story
Wood-frame construction
Gable or hipped roof
Stucco cladding
Little or no ornamentation
Wood-sash windows (typically fixed or casement)
Driveway and/or detached garage
Prohibition and Depression Era residences in Downtown Napa are likely to be significant because they are exceptional examples of a Prohibition and Depression-era architectural style or an architect’s
work. In order to be eligible for listing in the local, state, or national historic register, Prohibition-era residential properties must be significant under at least one of the following criteria.
NRHP Criterion A/CRHR Criterion 1/HRI Landmark Criterion A (Events, Patterns and Trends)
A residence from this era may be significant under Criterion A/1/A (Events, Patterns and Trends) as a representation of infill construction in a Victorian-era neighborhood developed in the 1920s.
Groups of houses that represent the theme of residential development patterns of this time may also be eligible as a district. A Prohibition-era residence may also be significant under Criteria A/1/A if it is associated with other themes, such as industrial development, transportation, or ethnic and cultural diversity.
NRHP Criterion B/CRHR Criterion 2/HRI Landmark Criterion B (Person)
A residence may be significant under Criterion B/2/B (Person) if it is found to be associated with the life of a significant member of Napa’s community, such as a prominent merchant or professional, or an influential civic or community leader. However, the property should be the best or only remaining representation of the person’s influence or achievements and not simply their place of residence.
NRHP Criterion C/CRHR Criterion 3/HRI Landmark Criteria C & D (Design/Construction, Architect)
A residence may also be significant under Criterion C/3/C (Design/Construction) as an example of one of the popular Prohibition-era architectural styles (i.e. Craftsman, Colonial Revival, or Spanish Eclectic); the architectural merit of these resources should be judged by traditional standards, as there are no notable trends specific to Napa’s residential architecture during this period. Larger homes are typically high-style examples of these architectural styles, and are potentially individually significant under this criterion. More modest homes may not qualify individually, but could be considered contributors to a historic district. A residence may also be significant under this criterion as the work of a master if it was constructed by a prominent architect or builder.
A property must retain sufficient integrity to convey its significance as a Prohibition-era residence. A Prohibition-era residence that has sufficient integrity will retain a majority of the character-defining features listed above.
A property significant under Criterion A/1/A should retain integrity of location, design, setting, and feeling at a minimum. These aspects are necessary because a building that is moved from its original location or has lost its historic setting (i.e. a Prohibition-era residence surrounded by a modern commercial development) will no longer reflect Prohibition-era residential development trends.
For residential districts, cohesion among the buildings in the district is more important than the design qualities of the individual buildings. A residence significant under Criterion B/2/B should retain integrity of association, design, and feeling at the minimum because retention of the physical features that convey the property’s connection to a significant person is critical.
Integrity of design, materials, workmanship and feeling are the key aspects for a property to convey its significance under Criterion C/3/C & D. If the property is significant under this criterion as an example of a Prohibition-era architectural style, it is possible for some materials to be replaced without drastically diminishing the property’s overall integrity, as long as these alterations are subordinate to the overall character of the building. However, if
a property is significant under Criterion C/3/C & D as the work of a master architect, it should retain a high degree of integrity of materials and workmanship.
 Integrity consideration for commercial uses: Residences which have been converted to commercial use, such as those along Jefferson Street or Third Street, are still eligible for listing under all criteria as long as they retain their overall form and architectural character. While such buildings no longer retain their original use, they can still be fine examples of Prohibition-era architectural styles, building types, and residential development patterns.
 Integrity consideration for moved resources: Residences which have been moved—either from outside the neighborhood or within it—no longer retain integrity of location, and thus do not contribute to development patterns under Criterion A/1/A. However, a relocated residence may still be able to convey its significance under Criterion C/3/C if its overall form and architectural character are intact.
Downtown Napa remained the commercial center of the city through the 1920s. However, this was also an era of change, and new types of commercial buildings such as movie theatres and automobile garages were constructed for the first time during this era. As automobile ownership became widespread in Napa beginning in the late 1930s, commercial development patterns began to accommodate the increasingly mobile population. However, automobile-oriented commercial development did not fully develop until World War II and the postwar era.
 
     
     Upper Left: Bank of Napa (1923), on Second Street. Upper Right: Gordon Building (1920) at First and Coombs.
          Lower Left: Merrill’s Building (1929) on First Street. Lower Right: Uptown Theatre (1937) on Third Street. (Page & Turnbull, August 2010)
    Upper Left: Bank of Napa (1923), on Second Street. Upper Right: Gordon Building (1920) at First and Coombs.
          Lower Left: Merrill’s Building (1929) on First Street. Lower Right: Uptown Theatre (1937) on Third Street. (Page & Turnbull, August 2010)
          Commercial properties dating to the mid-twentieth century included the Shackford’s Building (1936) at 1350 Main Street, Bank of Napa (1923), the Gordon Building and Merrill’s Building on First Street (1920s), and the Art Deco-style Oberon Bar at 902 Main Street (replaced in 1933 after a fire in the original 1880s structure) in-filled the downtown core. Commercial businesses such as the Union Service Station at 1501 Third Street (1935) were located on the outskirts of the commercial downtown.
Commercial buildings from this era are typically expressive in their design, but use more reserved styles than those of previous eras. Most downtown commercial buildings occupied the majority, if not all, of the parcel on which they sit. Prohibition-era commercial buildings were typically constructed of concrete, and were clad in stucco, terracotta, or brick veneer. Simple, metal storefronts were common. Architectural styles primarily include the Beaux-Arts, Renaissance Revival, Mediterranean Revival, Art Deco, and Art Moderne styles.
Commercial buildings associated with Prohibition-era commercial development patterns typically exhibit the following character-defining features:
Commercial use Location in Downtown Napa Prohibition-era architectural style and form One to two stories
Concrete construction Stucco, terracotta, or brick veneer cladding
Flat roof with parapet
 Metal storefronts, with large expanses of windows
Prohibition and Depression Era commercial properties in Downtown Napa are likely to be significant because they reflect a new property type, such as a gas station or theatre; demonstrate the effects of the Prohibition or the Great Depression; or are exceptional examples of a Prohibition and Depression Era architectural style or an architect’s work. In order to be eligible for listing in the local, state, or national historic register, Prohibition-era commercial properties must be significant under at least one of the following criteria.
NRHP Criterion A/CRHR Criterion 1/HRI Landmark Criterion A (Events, Patterns and Trends)
A Prohibition-era building located in the downtown core may be significant under Criterion A/1/A (Events, Patterns and Trends) as an example of commercial development trends during this era (i.e. downtown commercial development or automobile-related commercial development). A property associated with a prominent Prohibition-era business may also qualify under this criterion.
Additionally, properties that demonstrate the effects of Prohibition or the Great Depression (i.e. a property used as a speakeasy) may qualify under this criterion. A Prohibition-era commercial property may also be significant under Criterion A/1/A if it is associated with other themes, such as industrial development, transportation, or ethnic and cultural diversity. For example, the Uptown Theatre might represent the arrival of new, modern commercial property types in Napa’s downtown.
NRHP Criterion B/CRHR Criterion 2/HRI Landmark Criterion B (Person)
A commercial building may be significant under Criterion B/2/B (Person) if it is found to be associated with the life of a significant member of Napa’s community, such as a prominent merchant or professional, or an influential civic or community leader.
A commercial building may also be significant under Criterion C/3/C & D (Design/Construction) as an example of one of the popular Prohibition-era architectural styles (i.e. Beaux-Arts, Renaissance Revival, Art Deco, or Art Moderne), or a building type that was new during this era (i.e. movie theatre); the architectural merit of these resources should be judged by traditional standards, as there are no notable architectural trends specific to Napa’s Prohibition-era commercial architecture. Many Prohibition-era commercial buildings were architect-designed, and thus might also be significant under this criterion as the work of a master architect or builder. For example, the Uptown Theatre might be significant under this criterion as an example of the Art Deco style, and as the only extant example of a single-screen theatre in Downtown Napa.
In order to be eligible for listing in the local, state, or national historic register, a property must retain sufficient integrity to convey its significance as a downtown commercial development or automobileoriented development during the Prohibition era. A Prohibition-era commercial property that has sufficient integrity will retain a majority of the character-defining features listed above.
A property significant under Criterion A/1/A should have integrity of location, design, setting, and feeling at the minimum. Location in the downtown core or along a major thoroughfare is essential, although redevelopment and recent infill construction in Napa’s downtown have already altered the setting of some Prohibition-era commercial buildings.
A commercial building significant under Criterion B/2/B should retain integrity of association, design, and feeling at the minimum because retention of the physical features that convey the property’s connection to a significant person is critical.
Integrity of design, materials, workmanship, and feeling are the key aspects for a property to convey its significance under Criterion C/3/C. If the property is significant under this criterion as an example of a Prohibition-era architectural style, it is possible for some materials to be replaced without drastically diminishing the building’s overall integrity, as long as these alterations are subordinate to the overall character of the building. However, if the property is significant under Criterion C/3/C as the work of a master architect, it should retain a high degree of integrity of materials and workmanship. Because of the relative rarity of Art Deco and Art Moderne styles in Napa, integrity thresholds for these examples may be somewhat lowered.
As described previously, new civic and institutional resources such as churches and schools tended to be located in the new neighborhoods developing outside of downtown during the 1920s and early 1930s such as Spencer’s Addition, Alta Heights, West Napa, and St. John’s. Government buildings, however, remained in the downtown core. The Franklin Station Post Office appears to be the only example from this period of civic use in downtown. Constructed in 1933 by the Works Progress Administration to provide employment during the Depression, the post office is notable as a rare example of the Art Deco style in Napa.
Most Prohibition-era civic and institutional properties were of concrete or brick masonry construction, were architect-designed, and were monumental in form and detailing. Popular architectural styles government buildings included Gothic Revival, Neoclassical, Renaissance Revival, Beaux Arts, and Art Deco.
Civic or institutional buildings constructed during the Prohibition era typically exhibit the following character-defining features:
Civic or public use Location in Downtown Napa Prohibition-era architectural style and form One to two stories
 
    Concrete or brick masonry construction
Prohibition and Depression-era civic and institutional properties in Downtown Napa are likely to be significant because they demonstrate residential and commercial growth during this era; or are exceptional examples of a Prohibition and Depression-era architectural style, such as Art Deco, or an architect’s work, such as the WPA. In order to be eligible for listing in the local, state, or national historic register, Prohibition-era civic or institutional properties must be significant under at least one of the following criteria.
NRHP Criterion A/CRHR Criterion 1/HRI Landmark Criterion A (Events, Patterns and Trends)
Prohibition-era civic and institutional buildings are particularly significant as resources that demonstrate the city’s residential and commercial growth during this era. Specifically, a Prohibitionera civic or institutional building located in the downtown core may be significant under Criterion A/1/A (Events, Patterns and Trends) as an example of the city’s government or community development during this era. Additionally, a property constructed by the Works Progress
Art Deco-style Franklin Station Post Office (1933), designed by William Corlett and built with funds from the WPA. (Page & Turnbull, August 2010)Administration (i.e. the Franklin Station Post Office) would be significant under this criterion as an example of architecture designed during the Great Depression. A Prohibition-era civic or institutional property may also be significant under Criterion A/1/A if it is associated with other themes, such as automobile-related development or ethnic and cultural diversity.
NRHP Criterion B/CRHR Criterion 2/HRI Landmark Criterion B (Person)
A civic or institutional building may be significant under Criterion B/2/B (Person) if it is found to be associated with the life of a significant member of Napa’s community, such as a prominent civic or religious leader.
NRHP Criterion C/CRHR Criterion 3/HRI Landmark Criteria C & D (Design/Construction, Architect)
A civic or institutional building is likely to be significant under Criterion C/3/C & D (Design/Construction) as a high-style example of one of the popular Prohibition-era architectural styles (i.e. Gothic Revival, Neoclassical, Renaissance Revival, Beaux-Arts, or Art Deco); the architectural merit of these resources should be judged by traditional standards, as there are no notable architectural trends specific to Napa’s Prohibition-era century civic or institutional architecture. Most Prohibition-era civic or institutional buildings were architect-designed, and thus are likely to also be significant under this criterion as the work of a master, such as William H. Corlett.
In order to be eligible for listing in the local, state, or national historic register, a civic or institutional property must retain sufficient integrity to convey its significance. A Prohibition-era civic or institutional property that has sufficient integrity will retain a majority of the character-defining features listed above, especially its civic or institutional function.
A property significant under Criterion A/1/A should have integrity of location, design, setting, and feeling at the minimum. These aspects are necessary because civic or institutional properties should retain a physical proximity to the community that they were intended to serve in order to convey their significance.
A civic or institutional building significant under Criterion B/2/B should retain integrity of association, design, and feeling at the minimum because retention of the physical features that convey the property’s connection to a significant person is critical.
Integrity of design, materials, workmanship, and feeling are the key aspects for a property to convey its significance under Criterion C/3/C. For instance, alterations to the monumental scale, formal plan, or Art Deco detailing of the Franklin Station Post Office would greatly impact the building’s ability to convey its architectural significance. If the property is significant under Criterion C/3/C as an example of a Prohibition-era architectural style, it is possible for some materials to be replaced without drastically diminishing the property’s overall integrity, as long as these alterations are subordinate to the overall character of the building. However, in cases where the significance of the property is derived solely from its unique architecture or the property has distinctive features that link it to a master architect or builder, integrity of materials and workmanship are especially important.
When the United States entered World War II in 1941, the entire Bay Area quickly became an arsenal for the production of wartime supplies as well as the departure point for the Pacific Theater, and nearly half a million people from all over the country flocked to the Bay Area for employment. Wartime industries were especially important for American women, who went to work in the factories and shipyards as men enlisted in the armed forces; many Napa women found jobs at Basalt Rock Company and Mare Island. Napa’s main contribution to the war effort came in supplying housing for defense workers, rather than in the actual production of goods.120
In 1930, Napa had a population of only 6,437; by 1950, that figure had jumped to over 13,000.121 Because of the large influx of people, infrastructure improvements and rapid suburban development occurred in Napa during the war and continued well into the postwar era. Affordable cars and access to cheap gasoline following World War II allowed more families than ever to own a car; combined with the population boom, this new dependence on automobiles radically altered the urban form of Napa and other American cities. Up until the war, the city had grown in an organic piecemeal fashion, but with such a boom in population and physical growth, the first zoning ordinance was instituted in 1945. Since then, zoning regulations have controlled how and where the city expands. The Downtown survey area was not as strongly associated with these postwar suburbanization trends as other neighborhoods, but the physical and cultural changes experienced by the city as a whole fueled commercial development in the downtown core.
Major war industries did not settle in the city of Napa, but the Basalt Rock Company (located just downstream from Napa) and nearby Mare Island Naval Shipyard provided employment for many Napans and made a great contribution to the war effort. Twenty percent of the 25,000 workers at Mare Island lived in Napa and commuted to the shipyard daily.122 Defense workers in other Bay Area industries also settled in Napa, boosting the town’s economy. Wartime industries were especially important for American women, who went to work in the factories and shipyards as men enlisted in the armed forces; many Napa women found jobs at Basalt and Mare Island.
Meanwhile, many of the former industrial properties downtown were vacated as industry continued to shift south and north of the commercial center. Grain warehouses remained on the southeast corner of Fifth and Main streets but the Basalt Rock Company, a major war-time employer, was located just south of downtown. While Napa’s manufacturing had historically been based on its agricultural roots, the new, more mobile workforce made the economy of postwar Napa increasingly dependent on the industries and trends of the greater Bay Area.
Because of the sudden influx of wartime workers, the existing communities where the defense plants were located could not supply enough housing, and new arrivals looked to the surrounding cities for homes. Some people regularly commuted three to five hours daily for shipbuilding and other wartime jobs, and thousands of wartime workers, mostly employed at Mare Island, lived in Napa. Napa was declared a “defense housing area,” which meant that people could buy homes with only a 0 to 5% downpayment. 123 Quality and quantity of housing in Napa changed with the war, and
120 Bloomfield, 9-10
121 Coodley and Schmitt, 128.
122 Ibid., 126
123 Weber, Roots of the Present: 1900 to 1950, 252.
Napans were asked to make living space available to workers arriving from across the country. Old houses, empty stores, and warehouses were pressed into service as wartime housing. Workers often rented a room in a stranger’s house; lived in “hot beds” shared by those who worked different shifts; camped at the Napa fairgrounds; or lived in one of many new trailer homes. Temporary government wartime housing projects were constructed, usually with inferior materials to expedite construction and conserve resources needed for the war.124 Some lived in small cottages—often prefabricated and developed as tracts—which quickly filled empty lots and new subdivisions. Little defense houses typically had two bedrooms, one bathroom, a big living room with a fireplace, a kitchen and dinette, and a garage. 125
The growth of Napa in the postwar era paralleled that of many California cities, both in population and land area. Workers who came to Napa to work in the defense industry made their new homes permanent, and soldiers who had passed through the Bay Area on their way to the Pacific returned after the war. The construction of seventy-one new subdivisions were recorded from 1946 through 1951, comprising nearly 2,000 lots, and the Napa city limits were enlarged several times by the city council to incorporate these new developments.126 A number of these postwar neighborhoods appear to have been formally developed as subdivisions with identical houses: notably, Glenwood Garden in Spencer’s Addition was built as a 53-home subdivision circa 1950, and Devita was developed just south of Westwood in 1950.127
Despite the rapidly increasing population, there was very little multiple-unit housing in Napa during this time. Some apartment buildings were developed in the 1950s, but most of the new subdivisions and residential construction were still in the single-family tradition that had characterized Napa since the Victorian era. The availability of land and affordability of cars and gasoline did not create the need for increased density, so the city began to expand farther from downtown.
Within the Downtown survey area, several cottages from earlier eras north of Napa Creek on Clinton Street were demolished as businesses downtown expanded north in the postwar era. New residential construction downtown was limited, but apartment buildings became a more popular building type as the demand for housing increased. Multi-unit buildings were located on Randolph Street between Third and Fourth streets and were interspersed throughout the downtown. However, multi-unit housing was not a significant building type throughout Napa because the availability of land and affordability of cars and gasoline did not create the need for increased density.
Community development accompanied the booming residential growth. As the city expanded, so did the municipal government, and a new City Hall was constructed at 955 School Street in 1951. The dramatic population changes and the postwar Baby Boom caused an increased need for social services and education. To meet this need, many of Downtown’s existing historic churches added schools or social halls to their facilities: the First United Methodist Church and the First Presbyterian Church are both examples of this trend. Fraternal organizations such as the American Legion also built social halls and community centers in Downtown.
124 Bloomfield, 10. Coodley and Schmitt, 124.
125 Weber, Roots of the Present: 1900 to 1950, 252.
126 Weber, Roots of the Present: 1900 to 1950, 252.
127 Bloomfield, 34-35.
 
    Along with post-war suburbanization came an increasing reliance on the automobile, and cars became integrated into American culture to an unprecedented degree. In the 1950s, everything from architecture to leisure activities revolved around cars, and most cities saw a shift toward lower density residential and commercial development surrounded by acres of surface parking and connected by intricate freeway systems. The Googie style and other forms of roadside vernacular architecture designed to attract the attention of an increasingly mobile population became extremely popular in the 1950s and 1960s.
Soscol Avenue was the heart of Napa’s car culture during the postwar era, and was soon a strip full of car dealerships, auto repair shops, and gas stations, as well as drive-in restaurants and popular cruising spots. Similar car-related businesses also sprang up in Downtown, although not to the same extent as along Soscol Avenue.128 The Pete Gasser Dodge dealership was located at Second and Randolph streets, and the circular Googie-style Mel’s Junior Drive-In, now Nation’s Giant Hamburgers (1964) at Third and Franklin streets was a popular spot for local youth to socialize. Used auto lots were located at the northwest corner of Third and Franklin streets, on the southwest corner of Clay and Coombs, and on the northwest corner of First and Franklin streets. Uncle Sam’s Winery at Fourth and Main streets was replaced by a garage structure. The Montgomery Ward Department Store entered the commercial retail scene, with shop and warehouse buildings on Fifth Street between Coombs and Brown streets.129
128 Napa City Directories (1947). Sanborn Fire Insurance Maps (1949). Note: street numbering has since changed, and addresses listed here are therefore outdated.
129 Sanborn Fire Insurance Maps (1949). Pacific Aerial Surveys, 1950-1989.
Pete Gasser Dodge dealership in its original location downtown. The Gasser family also owned the Googie-style dealership just south of the intersection of Silverado Trail and Soscol Avenue. (Coodley and Schmitt, 104)Development during the World War II and Post-War Era (1940-1965) is important because, although Downtown Napa was not strongly associated with postwar suburbanization trends, physical and cultural changes experienced by the City of Napa fueled the development of commercial and civic and institutional properties in the downtown core. A few single-family and multi-unit residences were constructed as in-fill in Downtown Napa; however, these properties are unlikely to have individual significance. As the development became increasingly automobile-oriented, more businesses were constructed outside of the central business district. Those buildings that were constructed downtown tended to be located on vacant lots interspersed among the existing structures. Although commercial and industrial development during this period was slim, several civic and institutional buildings were constructed to support the residential development occurring outside in the suburbs surrounding Downtown Napa.
Properties types constructed during the World War II and Post-War Era in the Downtown Napa Survey Area included primarily commercial and civic and institutional properties. Automobile-related commercial businesses also continued to dominate the cityscape. Although residential in-fill occurred in the suburbs around downtown there are only a few examples of residential in-fill in the Downtown survey area because it was built-out by this period. Likewise, industrial properties developed outside the survey area south and north of downtown on the Napa River where there were larger tracts of open land available.
During World War II and the post-war era the sudden influx of wartime workers at the Basalt Rock Company and Mare Island created a huge demand for housing in Napa. Homes had to be built quickly and cheaply to meet the demand and the number of multi-unit housing buildings increased. Housing projects were constructed, usually with inferior-quality materials to expedite construction and conserve resources needed for the war. Small defense cottages—often prefabricated and developed in tracts—filled empty lots and were located in new subdivisions throughout the city.
In the postwar era, the drastic shift in the approach to residential development in the postwar era also led to corresponding changes in Napa’s commercial development patterns. In the 1950s and 1960s, the city began to expand farther from downtown.
 Left: Duplex on Randolph Street (circa 1940). Right: Ranch style house on Second Street (1955) (Page & Turnbull, August 2010)
    Left: Duplex on Randolph Street (circa 1940). Right: Ranch style house on Second Street (1955) (Page & Turnbull, August 2010)
          Following Napa’s earlier single-family residential development trends, defense cottages constructed during World War II were one-story, wood-frame single-family residences, clad in either wood or stucco. Many defense cottages were prefabricated and developed in tracts. Because they were built quickly and cheaply, wartime housing typically lacked architectural distinction; many were constructed in the Minimal Traditional or a simple vernacular style. Postwar era single-family homes were one-story, wood-frame single-family residences, clad in either wood or stucco. Houses had become longer and lower, included integral garages with vehicular entrances more prominently situated on the primary façade, abandoned front porches, featured large rear yards, and were increasingly oriented away from the street.
Some apartment buildings were developed in the 1950s and early 1960s as in-fill development downtown and older suburbs, but the single-family homes that had characterized Napa since the Victorian era were constructed in greater numbers than multi-family buildings. Most apartment buildings in Napa are small to mid-sized buildings (containing approximately four to fifty residential units), some in two-building groupings. Larger apartment buildings and multiple-building apartment complexes are typically of modern construction. Apartment buildings tend to be located on larger lots and lots situated on street corners. Apartment buildings feature a variety of architectural styles, but due to the fact that most in Napa were constructed in the mid-twentieth century, Modernist and Contemporary styles are most prevalent (including the Dingbat style, which originated in mid-century apartment building design in California). Apartment building construction is usually wood frame, like most other residential buildings, and cladding materials include more modern forms of wood siding (vertical groove plywood and shiplap among others), as well as stucco and decorative materials like pebbledash, brick veneer, and formstone. Multiple types of cladding materials will commonly be applied on a single building, either in panels or defining distinct sections of a structure.
Residential buildings associated with World War II and postwar residential development patterns typically exhibit the following character-defining features:
Single-family home or apartment building
As in-fill development downtown
Small setback from lot line, with large rear yard
 
    
Mid-century style and form (postwar homes) or simple/prefabricated vernacular style (World War II defense cottages)
One story in height
Lazarus Apartments on Main Street (1960) (Page & Turnbull, August 2010)Wood-frame construction
Gable, flat or hipped roof
Stucco or wood cladding
Little or no ornamentation
Aluminum-sash windows (typically fixed or casement)
Integral garage on primary façade (single family home)
Although single-family and multi-unit residences were constructed in Downtown Napa in the World War II/Post-War Era, it is unlikely that these properties would have individual significance. However, if a residential property constructed during World War II or the postwar era is to be eligible for listing in the local, state, or national historic register, it must be significant under at least one of the following criteria.
NRHP Criterion A/CRHR Criterion 1/HRI Landmark Criterion A (Events, Patterns and Trends)
Residences from this era in Downtown are not likely to be significant under Criterion A/1/A (Events, Patterns and Trends) as a representation of Napa’s residential development patterns during this time. The postwar era was characterized by large-scale, suburban tract development, and while there are a few examples of this property type in Downtown, they do not significantly represent this trend. Those buildings that were constructed Downtown tended to be located on vacant parcels as in-fill development rather than developed in clusters as tracts, and it is unlikely that these residences would be significant under this criterion. Instead, a subdivision developed during World War II (i.e. Westwood or Lincoln Park) or the postwar era (i.e. Devita, Bel Aire, or Glenwood Gardens) would better represent the theme of suburban development under Criterion A/1 (Events, Patterns and Trends).
NRHP Criterion B/CRHR Criterion 2/HRI Landmark Criterion B (Person)
Residences from this era are not likely to be significant under Criterion B/2/B (Person) because multiple-unit buildings are not typically the best representation of the life of a significant community member, and single postwar homes are not likely to be associated with a prominent real estate developer or other significant community member.
A wartime or postwar residence in Downtown is not likely to be significant under Criterion C/3/C (Design/Construction) as an example of this type and period of construction or one of the popular mid-century architectural styles (i.e. Minimal Traditional, Ranch, or Contemporary). These resources constitute only a minor part of the city’s postwar development pattern, and none of the downtown residences appear to be good enough examples of the “postwar apartment” or “tract house” building type to rise to the level of significance necessary to qualify under this criterion. Furthermore, because the theme of suburban development is best exemplified by homogenous housing tracts, groups of homes from this era outside the survey area would more appropriately represent this building type.
Postwar residences in Downtown Napa are not likely to be significant under any criteria, and therefore their integrity need not be evaluated.
 
    As automobile ownership became widespread in Napa, commercial development patterns adjusted to accommodate the increasingly mobile population. In the Downtown survey area, auto-related businesses such as repair and part shops tended to be located at the north and south ends of Main Street, the primary thoroughfare downtown. Several used car dealerships also cropped up on vacant lots throughout the commercial downtown. Garage structures were constructed in the location of former warehouses vacated when industries moved to areas north and south of the downtown. Like the residences built during this time downtown, commercial properties were constructed as in-fill and were, therefore, interspersed throughout downtown.
 
     
    Because of the increase in automobile ownership, commercial properties from this era are often surrounded by surface parking and consist of a series of attached retail spaces, one to two stories high, with prominent storefronts and a generally homogenous design. They may exhibit architectural styles like Art Moderne or Streamline Moderne, Googie, Contemporary or derivations of Spanish Colonial or Ranch styles. Interestingly, the horizontality of strip mall and shopping center design— with multiple units arranged in a row—tends to lend itself to many of these styles, particularly Art Moderne, Spanish Colonial and Ranch. The latter two styles were effective in expressing a California regional aesthetic.
Top left: Commercial building on Franklin Street that exemplifies the Modern style (circa 1950). Top right: Contemporary style Napa Savings and Loan Building on Second Street (circa 1960). Bottom left: Nation’s Giant Hamburgers on Third Street (1964). Bottom right: Multi-unit mid-century commercial building on Second Street (1953). (Page & Turnbull, August 2010)Commercial buildings associated with World War II and postwar residential development patterns typically exhibit the following character-defining features:
Commercial use
Location along major automobile thoroughfare such as Soscol Avenue or Jefferson Street
Mid-century architectural style and form
One to two stories
Concrete construction
Stucco cladding
Prominent storefronts, with large expanses of windows (often full-height)
Surrounded by surface parking
Multiple units arranged horizontally (strip malls only)
Few commercial properties were constructed in Downtown Napa during this era; however, World War II/Post-War-era commercial properties may be significant if they are exceptional examples of a World War II/Post-War-era architectural style. In order to be eligible for listing in the local, state, or national historic register, commercial properties from World War II and the postwar era must be significant under at least one of the following criteria.
NRHP Criterion A/CRHR Criterion 1/HRI Landmark Criterion A (Events, Patterns and Trends)
A commercial building from this era located in the downtown core may be significant under Criterion A/1/A (Events, Patterns and Trends) as an example of automobile-related commercial development trends and the accompanying cultural shift towards cars. For example, the Nation’s Giant Burgers building on Third Street—originally constructed as a drive-in restaurant—may be significant because it demonstrates the emergence of car culture in Napa. A property associated with a prominent postwar business may also qualify under this criterion. A commercial property from this era may also be significant under Criterion A/1/A if it is associated with other themes, such as industrial development or suburban residential development.
NRHP Criterion B/CRHR Criterion 2/HRI Landmark Criterion B (Person)
A commercial building may be significant under Criterion B/2/B (Person) if it is found to be associated with the life of a significant member of Napa’s community, such as a prominent merchant or professional, or an influential civic or community leader.
NRHP Criterion C/CRHR Criterion 3/HRI Landmark Criteria C & D (Design/Construction, Architect)
A commercial building may also be significant under Criterion C/3/C & D (Design/Construction) as an example of one of the popular mid-century architectural styles (i.e. Art Moderne or Streamline Moderne, Googie, or Contemporary); the architectural merit of these resources should be judged by traditional standards, as there are no notable architectural trends specific to Napa’s World War II and postwar era commercial architecture. For example, the Nation’s Giant Burgers building on Third Street may be significant for its unique glazing and form, while the cantilevered eaves and unique form of the Napa Savings and Loan building on Second Street are hallmarks of the Contemporary style. A commercial building from this era might also be significant under this criterion as the work of a master architect or builder if it was architect-designed.
In order to be eligible for listing in the local, state, or national historic register, a property must retain sufficient integrity to convey its significance as part of the automobile-related commercial
development theme during World War II or the postwar era. A commercial property from this era that has sufficient integrity will retain a majority of the character-defining features listed above.
A property significant under Criterion A/1/A should have integrity of location, design, setting, and feeling at the minimum. These aspects are necessary because a property that is moved from its location along a major thoroughfare or loses its historic setting (i.e. a commercial property designed to relate to the historic buildings downtown that is moved to a modern location) may no longer be able to convey its connection to its appropriate context.
A commercial building significant under Criterion B/2/B should retain integrity of association, design, and feeling at the minimum because retention of the physical features that convey the property’s connection to a significant person is critical.
Integrity of design, materials, workmanship, and feeling are the key aspects for a property to convey its significance under Criterion C/3/C & D. If the property is significant under this criterion as an example of a mid-century architectural style, it is possible for some materials to be replaced without drastically diminishing the building’s overall integrity, as long as these alterations are subordinate to the overall character of the building. However, if the property is significant under Criterion C/3/C & D as the work of a master architect, it should retain a high degree of integrity of materials and workmanship.
As in previous eras, civic and community uses were constructed downtown in conjunction with expanding residential development. For example, the American Legion constructed a meeting hall on Pearl Street in 1960, and City Hall was constructed at 955 School Street in 1951.
 
     
     Top: American Legion Building on Pearl Street (circa 1960). Bottom left: Napa City Hall at First & School streets (1951). Bottom Right: Police Station on Fifth Street (1949). (Page & Turnbull, August 2010)
    Top: American Legion Building on Pearl Street (circa 1960). Bottom left: Napa City Hall at First & School streets (1951). Bottom Right: Police Station on Fifth Street (1949). (Page & Turnbull, August 2010)
          Following Napa’s earlier development trends, construction of civic and social functions continued to accompany residential development during World War II and the postwar era. Civic and institutional buildings from this era tend to exhibit mid-century aesthetics in the Contemporary style. Located on large lots, buildings are long and low—generally one story in height—and surrounded by surface parking.
Civic or institutional buildings constructed during World War II or the postwar era typically exhibit the following character-defining features:
Civic or public use
Location downtown
Mid-century architectural style and form
One to two stories
Concrete construction
Stucco, wood, or other contemporary cladding (such as pebbledash or formstone)
 Multiple buildings linked by covered walkways
Civic and institutional properties in Downtown Napa are likely to be significant because they demonstrate the need to construct civic facilities to support the burgeoning residential suburbs in Napa, or are exceptional examples of World War II/Post-War-era architectural style. In order to be eligible for listing in the local, state, or national historic register, civic or institutional properties constructed during World War II or the postwar era must be significant under at least one of the following criteria.
NRHP Criterion A/CRHR Criterion 1/HRI Landmark Criterion A (Events, Patterns and Trends)
A World War II or postwar civic or institutional building located downtown may be significant under Criterion A/1/A (Events, Patterns and Trends) as an example of the community growth and master planning which accompanied the theme of postwar suburban development. Civic buildings constructed during this period are free-standing buildings rather than clustered or grouped complexes. Therefore, buildings are more likely to be significant as an individual property rather than as part of a larger district. A World War II or postwar civic or institutional property may also be significant under Criterion A/1/A if it is associated with other themes, such as automobile-related development.
NRHP Criterion B/CRHR Criterion 2/HRI Landmark Criterion B (Person)
A World War II or postwar civic or institutional building may be significant under Criterion B/2/B (Person) if it is found to be associated with the life of a significant member of Napa’s community, such as a prominent civic or religious leader.
NRHP Criterion C/CRHR Criterion 3/HRI Landmark Criteria C & D (Design/Construction, Architect)
A World War II or postwar civic or institutional building is likely to be significant under Criterion C/3/C & D (Design/Construction) as a high-style example of one of the popular mid-century architectural styles (i.e. Modern or Contemporary); the architectural merit of these resources should be judged by traditional standards, as there are no notable architectural trends specific to Napa’s wartime or postwar century civic or institutional architecture. An architect-designed civic or institutional building from this era might also be significant under this criterion as the work of a master architect or builder.
In order to be eligible for listing in the local, state, or national historic register, a civic or institutional property must retain sufficient integrity to convey its significance. A wartime or postwar civic or institutional property that has sufficient integrity will retain a majority of the character-defining features listed above, especially its civic or institutional function.
A property significant under Criterion A/1/A should have integrity of location, design, setting, and feeling at the minimum. These aspects are necessary because civic or institutional properties should retain a physical proximity to the community that they were intended to serve in order to convey their significance. For example, City Hall’s location at the heart of the bustling downtown needs to be intact for the building to convey its connection to postwar civic development themes.
A civic or institutional building significant under Criterion B/2/B should retain integrity of association, design, and feeling at the minimum because retention of the physical features that convey the property’s connection to a significant person is critical.
Integrity of design, materials, workmanship, and feeling are the key aspects for a property to convey its significance under Criterion C/3/C. If the property is significant under this criterion as an example of a mid-century architectural style, it is possible for some materials to be replaced without drastically diminishing the property’s overall integrity, as long as these alterations are subordinate to the overall character of the building. However, in cases where the significance of the property is derived solely from its unique architecture or the property has distinctive features that link it to a master architect or builder, integrity of materials and workmanship are especially important.
Integrity consideration for post-war additions to older civic buildings: As mentioned above, the dramatic population changes and the postwar Baby Boom caused an increased need for social services and education. It was common to find postwar additions of schools or social halls to existing churches—such as those adjacent to First United Methodist Church or the First Presbyterian Church—to meet this need. While the impact of these additional buildings on the integrity of the older associated civic building should be considered, these buildings should also be evaluated to determine whether or not they have gained significance in their own right.
Since its initial growth in the Gold Rush and Victorian eras, Napa has been transformed from a bluecollar town into a community with a more specialized, service-based economy. The city continued to grow throughout the postwar era, reaching a population of 37,000 by 1970; it is still the Valley’s population center with a population of 74,000 in 2003. However, the decline of manufacturing, redevelopment, and the rebirth of the wine industry greatly impacted modern Napa. The increased popularity of the wine industry made tourism a dominant force in the local economy. Tours, hotels, restaurants, and wine-related businesses thrive in Napa, and have multiplied rapidly since the 1980s. As local historian Lauren Coodley writes, “In a very brief time, Napa lost its notoriety as home to the mental hospital, and became inseparable from an image of luxury and easy living. Housing prices shot up, as the downtown was “revitalized” and vestiges of blue-collar life were removed.”130
Since the 1960s, Downtown Napa has continued to function as the commercial center of the city. First Street, Jefferson Street, and Soscol Avenue have remained major thoroughfares since Napa’s early years. However, modern changes to the character of the Downtown—due in large part to the redevelopment and urban renewal efforts of the 1960s and 1970s—have not gone unnoticed. Soscol Avenue was extended across Third Street and the Napa River circa 1980, and infill construction has continued throughout the survey area. More recently, Downtown has benefited from the ongoing success of Napa’s wine and tourism industry, with new residences, hotels, and restaurants springing up along the riverfront.
In the 1960s and 1970s, Napa struggled with redevelopment and urban renewal issues, as did most American cities at that time. The desire to modernize, renew blighted areas, and accommodate growing post-war populations nationwide led to the urban renewal and redevelopment programs of the 1960s and 1970s, initially sponsored by the federal government. In 1962, the Napa City Council took steps to establish a redevelopment agency charged with the responsibility to negotiate with the Federal Urban Renewal Agency to undertake an urban renewal plan in Napa. By 1968, City Council prepared and submitted the Central Business Study to the federal Housing and Urban Development Awards Program, for which it received approval. Also in 1968, an updated General Plan was proposed which included the creation of a Crosstown Expressway over Napa Creek, cutting through Downtown, Spencer’s Addition, and West Napa; the plan would was never realized, but likely would have resulted in the demolition of historic resources.131 In 1969, the City Council established a separate redevelopment agency, with its own bylaws and appointed officers. Some citizens were displeased with the Agency and its Urban Redevelopment Plan for the Parkway Plaza Redevelopment Project (adopted December 15, 1969), so they filed a referendum petition which ultimately did not get enough signatures and failed. 132
In 1970, the City of Napa’s application for the Neighborhood Development Program was approved and funded by the U.S. Department of Urban Development, setting the wheels in motion for the first major phase of redevelopment, which included the First Street beautification project, Brown Street Mall, another new downtown shopping mall, parking garages, new department stores (Mervyns and Carithers), and a one-time public art program. This effort led to the demise of some historic downtown commercial buildings, including the construction of a controversial clock tower and plaza
130 Coodley, “A River into Which None Can Step Twice,” Napa Valley Marketplace(October 2007)
131 City of Napa Engineering Department, “General Plan Street Proposal Map” (12 November 1968).
132 Napa Community Redevelopment Agency
on First Street to replace the Migliavacca Building (1905, demolished 1973), and the demolition of the Behlow Building (1900, demolished 1977) to make way for a new parking garage. Building permits from the 1970s are also on record for the demolition of a handful of buildings on Pearl Street to make way for a parking lot.
 
    A number of buildings impacted by new development and urban renewal in the Downtown survey area were relocated elsewhere in the city, rather than demolished. For example, in 1988, two Queen Anne cottages on First Street in Downtown Napa were sold for $1 each to make way for a new commercial development. The cottages were moved to 1901 & 1907 Spencer Street, where they complement the neighborhood’s scale and character. 133 The Levinson House, originally located Downtown at First and Franklin streets was moved to its current location on Third Street in 1954. Likewise, the Minnie and Harry Johnston House, originally located at First and Seminary streets, was moved to West Napa and replaced by a parking lot in 1977.
In Napa and nationwide, a growing preservation movement went hand-in-hand with, and as a direct response to, urban renewal efforts. The city’s urban renewal programs were not universally supported, and many community members led fights to save historic buildings, with one case going all the way to the California Supreme Court. Local preservation groups called “Citizens Against the Destruction of Napa” and “Neighbor” were formed, as well as Napa Landmarks, which undertook the first Napa City Historic Resources Inventory in 1976-1978 and later became a county-wide advocacy group.134
In 1975, an official citizen advisory board was created to be responsible for preservation activities, like maintaining a list of Napa’s historic structures, nominating landmarks and historic districts, advising the City Council on preservation issues, and providing the public with information. These responsibilities are now held by the Cultural Heritage Commission (CHC), which is a Certified Local Government (CLG) review board consisting of five members, including Napa residents and preservation professionals. The CHC not only oversees local preservation activities, but is a link to federally-funded programs through its official CLG status.
133 Napa Valley Register, (6 August 1988).
134 Coodley and Schmitt, 148-150. Napa, the Valley of Legends, 4. Coodley, “Finding the History of the Present Moment,” Napa Valley Marketplace (August 2007).
Migliavacca Building, constructed 1905, razed 1973. (Kernberger, Mark Strong’s Napa Valley, 24)Today, redevelopment and historic preservation are no longer mutually exclusive. Beginning in the latter part of the twentieth century, the Napa Community Redevelopment Agency has been instrumental in the preservation of numerous downtown properties, including the A. Hatt Building, Kyser-Lui-Williams block, Winship Building, Napa Valley Opera House, Labor Temple Building, and others. The Agency continues to be proactive by offering incentives for seismic retrofitting of buildings on the unreinforced masonry list. In the early twenty first century, the Agency applied for and received preservation grants and oversaw the seismic retrofit of the historic Goodman Library and Borreo Building, both now owned by the City of Napa. The Agency was also responsible for forming the Soscol Gateway Redevelopment Project Area in 2007, and has sponsored the intensivelevel historic surveys of the Soscol Gateway/East Napa and Downtown areas.135
 
    In 1986, a massive flood—called by the Napa Register “the most devastating flood since the winter of 1896”—hit the city, destroying 250 homes, damaging 2,500 others, killing three people, evacuating 7,000, and ultimately costing $140 million in damage. Two thirds of downtown businesses were damaged by the floodwaters, and the buildings were covered in mud. The flood spurred the county of Napa to undertake a flood-control project to minimize damage from future floods, which has further changed the face of the city, especially downtown.136 As a result of the devastation caused by the 1986 flood and subsequent floods in 1995, 1997, and 2005, legislation was passed that requires, among other things, flood-resistant construction and limits the number of units in multiple-family residential buildings. A Napa River Flood Management Plan was also created, taking a restorative approach to flood control which restores tidal wetlands, sustains wildlife systems, and subsequently protects homes, businesses and other properties from flood damage.137
135 Napa Community Redevelopment Agency
136 Coodley and Schmitt, 162-163. Weber, Napa, 81.
137 City of Napa Municipal Code. Title 17: Zoning. Chapter 17.38 Floodplain Management Overlay District. Napa Flood and Water Conservation District.
Plaza and clock tower created by Redevelopment in 1973. The clocktower was demolished in 2001. (Coodley and Schmitt, 111)The increased popularity of the wine industry starting in the late 1960s made tourism a dominant force in the local economy. Tours, hotels, restaurants, and wine-related businesses thrive in Downtown Napa, and have multiplied rapidly since the 1980s. For example, the Napa Valley Wine Train was established on the remnants of the Napa Valley Railroad after Southern Pacific abandoned its tracks. The Napa Valley Wine Train purchased the rail line from Southern Pacific in 1987 and restored vintage turn-of-the-century Pullman rail cars. The Wine Train depot is located just off Soscol Avenue at the northeast corner of the Downtown survey area, and the train includes gourmet food service and winery stops for tourists.138 The Napa Valley Conference and Visitors Bureau was founded in 1991 to manage and promote tourism in the city, and in 1996, hospitality and tourism was the second-largest industry in the county.139 Many Napa residents have transitioned away from bluecollar jobs to working up-valley or in town at the wineries, restaurants, and resorts. 140
Since the city’s founding, Downtown Napa has continuously functioned as the commercial center of the city. First Street, Jefferson Street, Main Street, and Soscol Avenue have remained major thoroughfares since Napa’s early years. Downtown experienced profound changes during the redevelopment and urban renewal efforts of the 1960s and 1970s, and infill construction has continued throughout the survey area. The recent rebirth of Napa’s wine industry and related success of hospitality and tourism has benefited Downtown, with construction of new residences, hotels, and restaurants springing up along the riverfront. The transformation of East First Street was also a result of this trend: Napa’s Oxbow District began to blossom around Copia (built in 2001 and closed in 2008) and the Oxbow Public Market, with tasting rooms, restaurants and new hotels clustered in the area. With the upcoming publication of the Downtown Specific Plan, Downtown Napa is poised to be the vibrant heart of the city and the region in the 21st century.
 
    138 Napa Valley Wine Train, “About Our Train,” http://winetrain.com/about-train.php (accessed 26 December 2008)
139 Napa, the Valley of Legends, 32.
140 Coodley and Schmitt, 169-170.
Napa inundated by the 1986 flood. (Verardo, 101)Page & Turnbull’s field survey of the 263 parcels in the Downtown Napa Survey Area included photographic documentation of 186 resources that appeared to be age-eligible (45 years or older) according to known construction dates provided by the Napa County Assessor and other sources, or visual estimates. As stated in the “Methodology” section of I. Introduction, these properties were also documented in a database, which contains basic survey data such as location information, physical features and construction date. This information is sufficient for the production of physical descriptions of each property at a later date. This database, which is capable of producing both spreadsheets and auto-generated architectural descriptions, is intended to achieve the same level of documentation as Primary Records (DPR 523A forms) with greater efficiency and versatility. This approach allowed the survey to capture all age-eligible resources at the most basic level of documentation, whereas the production of full DPR 523A forms would have proven costprohibitive.
Intensive-level documentation allows for the evaluation of properties’ eligibility for historic designation based on historic significance and integrity. The evaluation of historic significance follows National Register of Historic Places (NRHP) and California Register of Historical Resources (CRHR) Criteria for Evaluation. The seven aspects of integrity presented by the NRHP and followed by the CRHR are used to guide evaluation of integrity. (For a detailed explanation of the Criteria for Evaluation and aspects of integrity, please see “Evaluation Criteria” in section III. Guidelines for Evaluation.)
Note: California Historical Resource Status Codes (CHRSC) indicate potential eligibility for designation, but do not result in official designation or listing on any historic lists or registers. Further action is required in order to officially designate any property as a historic resource. (See Appendix for an explanatory list of CHRSCs.)
A summary of survey findings is as follows: 263 total parcels were included within the boundaries of the Downtown Napa Survey Area 186 age-eligible resources were documented in the survey database DPR 523 B forms were completed, documenting 60 total resources DPR 523 D Form was completed, documenting the potential Oxbow Historic District DPR 523 L Forms were completed, updating previous documentation for 12 structures
In addition to those already listed in the Napa HRI or documented on a DPR 523 Form, 8 additional age-eligible resources appear to warrant further individual evaluation for local listing (7N)
 properties were surveyed, but not further documented due to obvious lack of integrity (6Z) properties were not surveyed of these are age-ineligible of these are vacant parcels or parking lots
See Survey Spreadsheet in Appendix for a complete list of parcels included in Downtown Napa Intensive-Level Survey
Age-eligible properties within the Downtown Napa Survey Area which were previously documented through the 1995 City-Wide Survey, the existing HRI, or an individual National Register nomination generally did not receive further evaluation as part of the Downtown Napa Intensive-Level Survey. Construction dates for previously-documented properties were provided by the Napa County Assessor, and were not verified or revised as part of this intensive-level survey effort.
The following properties are currently listed in the National Register of Historic Places, or are listed in the local register as Landmark Properties (see Table 1). Further evaluation of these properties was not completed as part of the Downtown Napa Intensive-Level Survey, as they are already recognized as historic resources as follows, with corresponding CHRSCs in parentheses:
16 properties were previously listed in the NR & CR (1S)
7 properties were previously listed in the NR & CR as contributors to the Napa Abajo/Fuller Park Historic District (1D)
18 properties were previously listed locally on the Napa HRI as Landmark Property (5S1)
Note that some properties may be listed in both the National Register and as a Local Landmark, so see the table below for accurate tally of previously-designated resources.
Table 1. Properties previously listed in the NR and/or Local Landmark (26 total).
APN Address Alternate Address Year Built HRI CHRSC Notes
003137003000_0000 1245 - 1245 MAIN ST 1875 1 1S, 5S1
Sam Kee Laundry/Pfeiffer Building
003164005000_0000 1005 - 1005 COOMBS ST 1202 First Street 1905 1 1S, 5S1 Napa Valley Register Building 003166004000_0000 1130 - 1146 FIRST ST 1014 Coombs 1920 1 1S, 5S1 Gordon Building 003167011000_0000 1026 - 1030 FIRST ST 1905 1 1S, 5S1 First National Bank 003172003000_0000 1030 - 1030 MAIN ST 1879 1 1S, 5S1 Napa Opera House
003192005000_0001 1775 - 1775 CLAY ST 1750 First St 1904 2 1S, 3B, 5S1 Noyes Mansion/Wine Spectator (First & Jefferson)
003208001000_0000 1351 - 1351 SECOND ST 1933 1 1S, 5S1
U.S. Post OfficeFranklin Station 003209004000_0000 1333 - 1333 THIRD ST 1874 1 1S, 5S1 First Presbyterian Church
003211002000_0000 1219 - 1219 FIRST ST 1901 1 1S, 5S1 Goodman Library; Napa County Historical Society 003215001000_0000 825 - 825 BROWN ST 810 Coombs 1878 1 1S Napa County Courthouse
003221012000_0000 901 - 901 MAIN ST 900 Brown Street 1923 1 1S, 5S1 Bank of Napa; Wells Fargo 003222001000_0000 840 - 844 BROWN ST 1910 1S, 5S1 Alexandria Hotel
003231001000_0000 942 - 948 MAIN ST 1888 1 1S, 5S1 Winship Building
003231002000_0000 967 - 975 FIRST ST 1888 1 1S, 5S1 Semorile Building
003231008000_0000 902 - 912 MAIN ST 1933 5S1 Oberon Building; Downtown Joe's
003262007000_0000 625 - 625 RANDOLPH ST 1916 1 5S1 First United Methodist Church
003264001000_0000 590 - 590 RANDOLPH ST 1895 1 1D Robert P. Lamdin House (Napa Abajo/Fuller Park)
003264002000_0000 1236 - 1236 DIVISION ST 1870 1 1D Lamdin Cottage (Napa Abajo/Fuller Park)
003264003000_0000 585 - 595 COOMBS ST 595 Coombs St 1910 3 1D (Napa Abajo/Fuller Park)
APN Address Alternate Address Year Built HRI CHRSC Notes
003264003000_0001 585 - 595 COOMBS ST 587-591 Coombs St 1880 1D (Napa Abajo/Fuller Park)
003271006000_0000 1224 - 1224 FIFTH ST 1895 3 1D (Napa Abajo/Fuller Park)
003271007000_0000 608 - 608 RANDOLPH ST 1888 1 1D E.R. Gifford House (Napa Abajo/Fuller Park)
003271008000_0000 618 - 620 RANDOLPH ST 1905 3 1D (Napa Abajo/Fuller Park)
003277002000_0000 500 - 550 MAIN ST 1884 1S, 5S1 Hatt Building (1884)
003277003000_0000 530 - 530 MAIN ST 1886 1S, 5S1 Hatt Building (1886)
006133002000_0000 920 - 930 THIRD ST 1877 1 5S1 Borreo Building
LISTED IN THE HRI WITH A MAP SCORE OF “1,” OR ASSIGNED A CHRSC OF “3S” Properties previously listed in the HRI with a Map Score of “1” and not otherwise designated, or previously determined eligible for listing in the National Register were assigned a CHRSC of “3S” (Table 2) and were not further evaluated as part of the Downtown Napa Intensive-Level Survey. These properties are already recognized as historic resources.
Table 2. Properties previously listed in the HRI with a Map Score of “1” or assigned a CHRSC of “3S” (9 total).
APN Address Alternate Address Year Built HRI CHRSC Notes
003164021000_0000 1212 - 1222 FIRST ST 1929 1 3S Merrill's Building 003172011000_0000 1122 - 1142 MAIN ST 1890 1 3S Kyser/Williams Block 003201001000_0000 1562 - 1562 THIRD ST 1879 1 3S Nichols House 003202008000_0000 1516 - 1516 THIRD ST 1885 1 3S 003202009000_0000 1526 - 1526 THIRD ST 1889 1 3S 003205012000_0000 833 - 833 FRANKLIN ST 1872 1 3S Robert Sterling House 003206004000_0000 709 - 709 FRANKLIN ST 1880 1 3S 003222008000_0000 813 - 813 MAIN ST 1908 1 3S Fagiani Building 003222011000_0000 810 - 816 BROWN ST 1904 1 3S Center Building
LISTED IN THE HRI WITH A MAP SCORE OF “2”
Properties previously listed in the HRI with a Map Score of “2” and not otherwise designated, or previously determined eligible for listing in the local register were assigned a CHRSC of “5S3” (Table 3). These properties are already recognized as historic resources, and were not further documented as part of the Downtown Napa Intensive-Level Survey. However, six of these HRI Map Score “2” properties also appear to be eligible for listing in the National Register based on their architectural character, and have thus been assigned an additional CHRSC of “3S.”
Table 3. Properties previously listed in the HRI with a Map Score of “2” (24 total).
APN Address Alternate Address Year Built HRI CHRSC Notes
003133006000_0000 1227 - 1237 COOMBS ST 1880 2 5S3
003133007000_0000 1219 - 1219 COOMBS ST 1219A Coombs St 1880 2 5S3
003133008000_0000 1213 - 1213 COOMBS ST 1870 2 5S3
003133009000_0000 1207 - 1207 COOMBS ST 1210 Pearl St 1895 2 5S3
003173009000_0000 1100 - 1100 WEST ST 1900 2 5S3
City of Napa Parks & Recreation Building
003191002000_0000 1525 - 1527 POLK ST 1915 2 5S3 Christian Science Church
Historic Context Statement & Survey Napa, California
APN Address Alternate Address Year Built HRI CHRSC Notes
003191003000_0000 1133 - 1133 SEMINARY ST 1915 2 5S3
003193007000_0000 1755 - 1755 FIRST ST 1915 2 3S, 5S3
003193008000_0000 1790 - 1792 SECOND ST 1890 2 5S3
003193009000_0000 952 - 952 JEFFERSON ST 1890 2 5S3
003196001000_0000 1645 - 1645 FIRST ST 1905 2 5S3
003196002000_0000 1635 - 1635 FIRST ST 1905 2 5S3
003196005000_0000 1607 - 1607 FIRST ST 1903 2 5S3
003197001000_0000 1461 - 1461 POLK ST 1880 2 5S3
003198001000_0000 1042 - 1042 SEMINARY ST 1905 2 5S3
003198019000_0000 1580 - 1580 FIRST ST 1890 2 3S, 5S3
003202001000_0000 1553 - 1553 SECOND ST 1900 2 5S3
Katcher House; Blackbird Inn
003205004000_0000 817 - 817 FRANKLIN ST 1880 2 3S, 5S3 Bickford House
003206003000_0000 715 - 715 FRANKLIN ST 1905 2 3S, 5S3 The Plunge; Community Thrift Shop
003208004000_0000 1332 - 1364 THIRD ST 1935 2 3S, 5S3 Uptown Theater
003209007000_0000 700 - 700 FRANKLIN ST 1895 2 5S3
003211003000_0000 1201 - 1209 FIRST ST 931-937 Coombs St 1915 2 3S, 5S3
Native Sons of Golden West Bldg 003251017000_0000 1742 - 1742 THIRD ST 1890 2 5S3
003271005000_0000 623 - 623 COOMBS ST 1920 2 5S3 Treadway & Wigger Funeral Chapel
LISTED IN THE HRI WITH A MAP SCORE OF “3”
The properties previously listed in the HRI with a Map Score of “3”—potential contributors to an undetermined historic district—were automatically assigned a CHRSC of “7N” prior to the survey effort. These properties were all individually re-evaluated for eligibility in the national, state, and local historical registers as part of the Downtown Intensive-Level Survey via DPR 523 B or D forms.
The methodology for assessing the 53 HRI Map Score “3” properties was as follows:
3 properties were previously listed in the NR & CR as contributors to the Napa Abajo/Fuller Park Historic District (see Table 1)
30 properties were documented on DPR 523 B forms (see Table 4)
10 properties were documented on the Oxbow DPR 523 D form (see Table 5a)
1 property was documented on a DPR 523 L form (see Table 6)
4 properties were not further documented because they lack integrity (see Table 7a)
5 properties were not further documented because they are vacant (see Table 7b)
Through this process, some HRI Map Score “3” properties were found to be individually eligible for listing, while others do not possess the significance or integrity necessary to qualify (see Tables 4-7 for further details).
As part of the Downtown Napa Intensive-Level Survey, Page & Turnbull completed fifty-seven (57) Building, Structure, Object Records (DPR 523B Forms) detailing the history of individual properties; one (1) District Record (DPR 523D Form) to document a potential historic district in the Oxbow area; and updates to existing documentation of twelve (12) resources.
The 57 properties documented on DPR 523 B Forms were selected in consultation with City of Napa staff and members of Napa County Landmarks. After the completion of the initial field survey, Page & Turnbull categorized all age-eligible properties to create a systematic approach to identifying DPR 523 B form candidates. Properties which were not selected for documentation on DPR 523 B forms included those already designated as local Landmark Properties or listed in the National Register of Historic Places; those currently listed in the HRI with a Map Score of “1” or “2;” those located within the boundaries of the potential Oxbow Historic District; and those obviously lacking sufficient integrity for listing under any criteria. Six buildings less than 50 years of age (i.e. constructed between 1961 and 1965) and two historic bridges were identified for future study, but were not documented on DPR 523 B Forms at this time. DPR 523 B Forms were completed for all remaining age-eligible properties (see Table 4 below). Properties evaluated on DPR 523 B Forms were assigned a CHRSC of “5S3” (Appears to be individually eligible for local listing or designation) or “6Z” (Ineligible for NR, CR, or local designation through survey evaluation).
Table 4. Resources recorded on DPR 523B Forms (57 parcels, 60 total resources).
APN Address Alternate Address Year Built HRI CHRSC Notes
003133011000_0000 1240 - 1240 PEARL ST 1961 6Z American Legion Hall 003136003000_0000 1327 - 1327 MAIN ST 1895 3 6Z 003137005000_0000 1201 - 1201 MAIN ST 1935 5S3 Napa Firefighter's Museum
003142001000_0000 1350 - 1350 MAIN ST 1936 3 6Z Shackford's 003142014000_0000 1326 - 1326 MAIN ST 1920 6Z Mathis Furniture Co. 003143009000_0000 1202 - 1214 MAIN ST 964-980 Pearl St 1947 3 5S3 Lazarus-Grinsell Building 003147001000_0000 845 - 845 CLINTON ST 1905 3 6Z
003147006000_0000 1214 - 1214 YAJOME ST 1930 3 6Z
003147007000_0000 1216 - 1216 YAJOME ST 1905 3 6Z 003147008000_0000 1234 - 1234 YAJOME ST 1920 3 6Z 003148002000_0000 815 - 851 CAYMUS ST 1885 3 6Z
003161001000_0001 1339 - 1339 PEARL ST 1128 Franklin Street 1925 6Z 003161005000_0000 1300 - 1300 CLAY ST 1946 6Z AT&T 003161006000_0000 1330 - 1330 CLAY ST 1880 3 6Z
003161007000_0000 1340 - 1340 CLAY ST 1880 6Z
003164006000_0000 1210 - 1210 FIRST ST 1925 3 6Z
City of Napa Water Division Office
003172010000_0000 1144 - 1146 MAIN ST 1142-1146 Main Street 1940 6Z Bloom creative hair design and art gallery
003182009000_0000 708 - 714 FIRST ST 1021 - 1027 McKinstry 1948 6Z
003191004000_0000 1600 - 1600 CLAY ST 1107-1115 Seminary 1955 6Z
Economic Development Dept.
003192002000_0000 1700 - 1700 FIRST ST 1957 6Z Bank of America
003193004000_0000 1778 - 1778 SECOND ST 1902 3 5S3 Golden State Lumber Inc
003194005000_0000 1766 - 1776 SECOND ST 1776 Second St 1900 3 5S3
003195001000_0000 1600 - 1600 FIRST ST 1958 6Z
City of Napa Community Services Building
003197010000_0000 1514 - 1514 CLAY ST 1905 6Z
003197011000_0000 1526 - 1526 CLAY ST 1885 3 6Z
003198018000_0000 1564 - 1564 FIRST ST 1915 3 5S3
003199014000_0001 1539 - 1539 FIRST ST 955 School Street 1951 6Z City Hall
003201003000_0000 835 - 835 CHURCH ST 1939 3 6Z
003201004000_0000 827 - 827 CHURCH ST 1905 3 5S3
003201006000_0000 1538 - 1538 THIRD ST 1940 3 7N*
003202010000_0000 1532 - 1532 THIRD ST 1905 3 6Z
003203002000_0000 1517 - 1521 THIRD ST 1954 6Z
003203005000_0000 1512 - 1512 FOURTH ST 701- 705 School Street 1905 6Z
003204006000_0000 1400 - 1420 SECOND ST 1953 6Z
003204007000_0000 1424 - 1436 SECOND ST 1948 6Z
003205007000_0000 800 - 828 SCHOOL ST 1424-38 Third Street 1905 2 6Z
003205007000_0001 800 - 828 SCHOOL ST 828 School Street 1905 6Z
003205011000_0000 1407 - 1417 SECOND ST 1953 6Z 003205013000_0000 830 - 832 SCHOOL ST 1905 3 5S3 003206006000_0000 1426 - 1426 FOURTH ST 1930 3 5S3
003207006000_0000 1310 - 1310 SECOND ST 1960 5S3 003207008000_0000 920 - 930 FRANKLIN ST 1949 3 5S3 003207011000_0000 1321 - 1321 FIRST ST 1964 6Z 003208002000_0000 819 - 819 RANDOLPH ST 1940 6Z Zeller's Hardware Store
003208002000_0001 819 - 819 RANDOLPH ST 1322 Third Street 1929 6Z 003208003000_0000 1324 - 1330 THIRD ST 1938 3 6Z 003209008000_0000 720 - 720 FRANKLIN ST 1940 3 6Z
003211001000_0000 1227 - 1245 FIRST ST 1916 3 5S3 Migliavacca Building (1916) 003214002000_0000 1141 - 1141 FIRST ST 1920 5S3 003214012000_0000 1139 - 1139 FIRST ST 1920 3 5S3
003231002000_0001 967 - 975 FIRST ST 967 First St 1951 6Z 003251005000_0000 1763 - 1763 SECOND ST 1905 3 5S3
003251019000_0000 1766 - 1766 THIRD ST 1922 3 5S3 003251021000_0000 1790 - 1790 THIRD ST 1915 6Z 003271001000_0000 642 - 642 RANDOLPH ST 1880 3 5S3 003271009000_0000 630 - 632 RANDOLPH ST 1940 3 6Z
003300001000_0000 821 - 821 COOMBS ST 1915 3 5S3
003300002000_0000 830 - 830 RANDOLPH ST 1930 6Z
003300005000_0000 811 - 811 COOMBS ST 1905 6Z
003300007000_0000 801 - 801 COOMBS ST 1920 6Z
* Page & Turnbull found the property at 1538 Third Street to meet the eligibility criteria for listing as a local landmark, and suggested a “5S3” status code. However, during the public outreach process for this survey, the property owner of 1538 Third Street objected to the survey findings, and a peer review of Page & Turnbull’s findings was conducted, resulting in a difference of professional opinions. The “7N” status code assigned here indicates that further study will be needed to resolve this difference of opinions; in the future, the City Council could consider supplemental information or opinions in addition to Page & Turnbull’s findings to determine whether this property is eligible for local landmark designation.
All DPR 523B forms are included in the Appendix.
 
     
     
     
     
     
    A District Record was completed to document the potentially historic Oxbow District, which includes simple working-class cottages from the Victorian era and early twentieth century. The 14 resources within the potential district are located along First Street east of Soscol Avenue in the “oxbow” of the Napa River. The majority of resources within the Oxbow District were constructed between 1870 and 1930. The residential area along First Street was once larger than it is today, but since many properties have been demolished or altered over the years, the district boundaries were drawn to exclude large groups of non-contributing parcels and encompass only the remaining resources. (See map and Tables 5a & 5b below.)
The Oxbow District does not appear to be eligible for listing in the national, state, or local historical registers under any criteria. The district was loosely associated with themes of residential and industrial development, and the city’s early Italian-American community, but not to a degree significant enough to qualify for designation. The Oxbow District contains vernacular architectural forms that are typical of working-class cottages, but it does not stand out within the context of vernacular architecture in Napa and therefore does not possess sufficient architectural significance to qualify for listing. However, two properties within the district boundaries appear to qualify for individual listing in the local register based on their architectural character (731 First Street and 906 McKinstry Street).
 Oxbow District Map, 2010. Outline indicates Oxbow District boundaries. Orange shaded parcels indicate District Contributors. Light orange shaded parcels indicate Non-Contributors. Parcels outside the historic district that were considered as part of this survey effort have also been marked to justify the boundary. (All parcels evaluated as part of this DPR 523D Form were assigned a CHRSC of 6Z).
    Oxbow District Map, 2010. Outline indicates Oxbow District boundaries. Orange shaded parcels indicate District Contributors. Light orange shaded parcels indicate Non-Contributors. Parcels outside the historic district that were considered as part of this survey effort have also been marked to justify the boundary. (All parcels evaluated as part of this DPR 523D Form were assigned a CHRSC of 6Z).
          Table 5a. Resources recorded on the Oxbow District DPR 523D Form (14 total)
APN Address Alternate Address Year Built HRI CHRSC Notes
003241002000_0000 731 - 731 FIRST ST 1870 2 5S3 Contributor
003241002000_0001 731 - 731 FIRST ST 730 Water Street 1870 6Z Lacks integrity (non-contributor)
003241003000_0000 711 - 711 FIRST ST 1910 3 6Z Contributor
003241003000_0001 711 - 711 FIRST ST 718 Water Street 1870 3 6Z Contributor
003241004000_0000 903 - 903 MCKINSTRY ST 1930 3 6Z Contributor
003242001000_0000 876 - 876 WATER ST 1915 3 6Z Contributor
003243001000_0000 645 -645 FIRST ST 1955 6Z Commercial building (non-contributor)
003243002000_0000 633 - 633 FIRST ST 1890 3 6Z Contributor
003243003000_0000 627 - 627 FIRST ST 1885 3 6Z Contributor
003243004000_0000 619 - 619 FIRST ST 1885 3 6Z Contributor
003243005000_0000 611 - 611 FIRST ST 1890 3 6Z Contributor
003243006000_0000 605 - 605 FIRST ST 1870 3 6Z Contributor
003243007000_0000 619 - 619 WATER ST 620 Water Street 1925 3 6Z Contributor
003243008000_0000 906 - 906 MCKINSTRY ST 1880 2 5S3 Contributor
Table 5b. Resources considered for inclusion in the DPR 523 D Form, but ultimately excluded from the Oxbow District boundaries (5 total)
APN Address Alternate Address Year Built HRI CHRSC Notes
003182012000_0000 1031 - 1031 MCKINSTRY ST 1905 6Z
Moved to site between 1924 and 1949 (outside district)
003182007000_0000 728 - 728 FIRST ST 1905 6Z Lacks integrity (outside district)
003182009000_0000 708 - 714 FIRST ST 1021 - 1027 McKinstry 1948 6Z Commercial building (outside district)
003241001000_0000 743 - 743 FIRST ST 1935 6Z Lacks integrity (outside district)
003242003000_0000 933 -933 WATER ST 1945 6Z County Corporation Yard (outside district)
The DPR 523D form for the Oxbow district is included in the Appendix.
Updates to existing documentation were completed for 12 resources within the Downtown Napa Survey Area. These updates included the evaluation of an additional building on a designated parcel, or re-evaluation of a building that had undergone alterations since its original assessment. Updates were documented on DPR 523L Forms (see Table 6).
Table 6. Resources updated on DPR 523L Forms (7 parcels, 12 total resources)
APN Address Alternate Address Year Built HRI CHRSC Notes
003164021000_0001 1025 - 1025 COOMBS ST 1929 3 6Z Merrill's Building Annex
003172007000_0000 1038 - 1040 MAIN ST 1907 1 5S3, 7N1 Mathis-Flanagan Building
003209005000_0000 1333 Third Street/Randolph Street 6Z Presbyterian Day School
003221012000_0001 900 - 900 BROWN ST 1934 1S, 5S1 Bank of Napa/Wells Fargo Addition
003262006000_0000 629 - 629 RANDOLPH ST Franklin St 1955 6Z Bonner Educational Bldg
APN Address Alternate Address Year Built HRI CHRSC Notes
003262006000_0001 629 - 629 RANDOLPH ST 1301 Fourth Street 1960 6Z
Centennial Hall/ Adams Hall
003275003000_0000 1071 - 1091 FIFTH ST 1949 6Z City of Napa Police Station
003277006000_0000 540 - 540 MAIN ST 1959 6Z
Hatt Complex: Hay Warehouse, Napa General Store
003277006000_0001 540 - 540 MAIN ST 1893 6Z Hatt Complex: Wharf Shed; Angele Restaurant
003277008000_0000 MAIN ST 951 Fifth Street 1890 6Z Hatt Complex: Annex #1
003277008000_0001 MAIN ST 1944 6Z Hatt Complex: Napa Mill Silo
003192005000_0000 1775 - 1775 CLAY ST 1902 3B, 5B
All DPR 523L forms are included in the Appendix.
Noyes Mansion Carriage House
As described above, some age-eligible properties within the survey area were considered for documentation on DPR 523B, D, or L Forms, but were not documented due to obvious lack of historic integrity. This survey also uncovered errors in previous HRI ratings; properties previously listed in the HRI with a Map Score “3” but currently vacant or age-ineligible were not documented. The property at 1501 Third Street is listed in the HRI with a Map Score “2,” but was previously determined ineligible for listing in the HRI by the City Council, and thus was not documented as part of this effort. (see Tables 7a & 7b below).
Table 7a. Age-eligible resources considered for documentation, but excluded due to lack of historic integrity (34 total)
APN Address Alternate Address Year Built HRI CHRSC Notes
003136002000_0000 1343 - 1343 MAIN ST 1915 3 6Z
003136003000_0001 1327 - 1327 MAIN ST 1335 Main Street. 1895 6Z
003147009000_0000 1236 - 1236 YAJOME ST 1905 6Z
003153008000_0000 1300 - 1338 PEARL ST 1920 3 6Z Rossi Building
003153009000_0000 1436 - 1436 POLK ST 1909 6Z Blue Oak School
003164004000_0000 1015 - 1017 COOMBS ST 1011-1017 Coombs 1920 6Z
003164019000_0000 1232 - 1248 FIRST ST 1963 6Z
003167010000_0000 1006 - 1018 FIRST ST 1962 6Z
003182007000_0000 728 - 728 FIRST ST 1905 3 6Z
003194001000_0000 1721 - 1721 FIRST ST 1890 6Z
003198025000_0000 1500 - 1500 FIRST ST 1963 6Z
003199013000_0000 930 - 930 SEMINARY ST 1965 6Z Napa Fire Department 1
003201002000_0000 849 - 849 CHURCH ST 1559 Second St 1880 2 6Z
003205005000_0000 1406 - 1414 THIRD ST 1915 3 6Z
003205006000_0000 1420 - 1420 THIRD ST 1960 6Z
003205007000_0000 800 - 828 SCHOOL ST 1420 Third Street 1905 2 6Z
003207003000_0000 1305 - 1307 FIRST ST 1951 6Z
003207007000_0000 1320 - 1370 SECOND ST 1960 6Z
003208002000_0000 819 - 819 RANDOLPH ST 1940 6Z
Christian Advent Church; Valley Bible Chapel
Zeller's Hardware Store
APN Address Alternate Address Year Built HRI CHRSC Notes
003212002000_0000 853 - 853 COOMBS ST 1963 6Z Travelodge
003212004000_0000 1234 - 1234 THIRD ST 810 Randolph St 1920 6Z
003214001000_0000 926 - 932 COOMBS ST 1147-1149 First Street 1945 6Z
003221001000_0000 1025 - 1025 FIRST ST 1905 6Z
003221002000_0000 1005 - 1005 FIRST ST 943 Main Street; 1015 Main Street 1905 6Z
003222005000_0000 829 - 829 MAIN ST 1880 6Z
003222006000_0000 823 - 825 MAIN ST 1880 6Z 003222007000_0000 815 - 815 MAIN ST 1880 6Z 003222009000_0000 807 - 807 MAIN ST 1890 6Z
003222012000_0000 822 - 828 BROWN ST 1880 6Z
003241001000_0000 743 - 743 FIRST ST 1935 6Z
003241002000_0001 731 - 731 FIRST ST 730 Water Street 1870 6Z
Former City Hall/Fire Engine House
003242003000_0000 933 - 933 WATER ST 1945 6Z County Corporation Yard
003243001000_0000 645 - 645 FIRST ST 1955 6Z 003251020000_0000 1776 - 1780 THIRD ST 1920 6Z
Table 7b. HRI Map Score “2” or “3” properties considered for documentation, but excluded because parcel is now vacant, structure is age-ineligible, or building was previously determined ineligible for listing (6 total)
APN Address Alternate Address Year Built HRI CHRSC Notes
003144009000_0000 1105 - 1105 WEST ST 915 Clinton 1970 3
Napa Sanitation District Building (Age-Ineligible)
003182011000_0000 1045 - 1045 MCKINSTRY ST 0 3 -Listed in HRI with construction date 1900; currently vacant
003197013000_0000 1120 - 1120 SEMINARY ST 0 3 -Listed in HRI with construction date 1896; currently vacant
003203003000_0000 1501 - 1501 THIRD ST 1947 2 6Z Union Service Station; previously determined ineligible by City Council.141
003213008000_0000 720 - 720 RANDOLPH ST 0 3 -Listed in HRI with construction date 1940; currently vacant
003213009000_0000 730 - 730 RANDOLPH ST 0 3 -Listed in HRI with construction date 1940; currently vacant
141 For detailed findings about the ineligibility of 1501 Third Street for listing in the HRI, refer to Napa City Council Resolution #R2010 55, 4 May 2010.
Historic Context Statement & Survey Report Napa, California Turnbull,
Page & Turnbull recommends that those properties deemed eligible for listing at the local, state, or national level (as evaluated on the HRI, DPR 523B forms and/or DPR 523D forms) be designated as such.
Page & Turnbull recommends that the 17 resources determined individually eligible for listing in the National Register of Historic Places be officially nominated to the Register or receive official designation as a “determined eligible” resource. These resources have exceptionally high architectural merit, and/or were designed by a master architect. These resources have all been given a CHRSC of “3S” or “3B” to indicate their eligibility for listing (see Table 8).
Nomination to the National Register will involve consent by the property owners, as well as a larger public participation program. Once the property is listed in the National Register, various preservation incentives may be available to property owners, including Federal Historic Preservation Tax Credits for income-producing properties and usage of the California Historic Building Code (CHBC) and the Mills Act. While National Register nomination helps protect historic resources, it does not preclude properties from being altered or even demolished. Any proposed projects that may affect a National Register-eligible property are already subject to review under the California Environmental Quality Act (CEQA) to analyze the project’s impact on the resource, and should require a Certificate of Appropriateness (C of A). Note that per state law, CEQA review would occur regardless of whether or not the property is officially designated.
These National Register-eligible properties also appear eligible for listing in the California Register and the local register as Landmark Properties. If nominated to the National Register, these properties would automatically be listed in the California Register. Page & Turnbull recommends that they be officially designated in the local register as Landmark Properties in addition to being nominated to the National and California Registers.
Table 8. National Register-eligible properties (17 total)
APN Address Alternate Address Year Built HRI CHRSC Notes
003164021000_0000 1212 - 1212 FIRST ST 1929 3S Merrill's Building
003172011000_0000 1122 - 1142 MAIN ST 1890 3S Kyser/Williams Block
003192005000_0000 1775 - 1775 CLAY ST 1902 2 3B, 5B Noyes Mansion Carriage House
003193007000_0000 1755 - 1755 FIRST ST 1915 2 3B, 5B
003198019000_0000 1580 - 1580 FIRST ST 1890 2 3S, 5S3
Katcher House; Blackbird Inn
003201001000_0000 1562 - 1562 THIRD ST 1879 1 3S Nichols House
003202008000_0000 1516 - 1516 THIRD ST 1885 1 3S
003202009000_0000 1526 - 1526 THIRD ST 1889 1 3S
003205004000_0000 817 - 817 FRANKLIN ST 1880 2 3S, 5S3 Bickford House
003205012000_0000 833 - 833 FRANKLIN ST 1872 1 3S Robert Sterling House
003206003000_0000 715 - 715 FRANKLIN ST 1905 2 3S, 5S3
003206004000_0000 709 - 709 FRANKLIN ST 1880 1 3S
The Plunge; Community Thrift Shop
003208004000_0000 1332 - 1364 THIRD ST 1935 2 3S, 5S3 Uptown Theater
003211003000_0000 1201 - 1209 FIRST ST 931-937 Coombs St 1915 2 3S, 5S3
Native Sons of Golden West Bldg
APN Address Alternate Address Year Built HRI CHRSC Notes
003222008000_0000 813 - 813 MAIN ST 1908 1 3S Fagiani Building
003222011000_0000 810 - 816 BROWN ST 1904 1 3S Center Building
003262007000_0000 625 - 625 RANDOLPH ST 1916 1 3S, 5S1 First United Methodist Church
In addition to the properties listed above that are eligible for listing in all three historical registers, Page & Turnbull recommends that the 38 resources determined individually eligible for listing in the local register only be officially designated as Landmark Properties. These resources have high architectural merit, but may not rise to the level of significance or integrity necessary to qualify for listing in the National Register or California Register. 20 of these are currently listed on the HRI with a Map Score of “2,” while 18 additional properties appeared eligible for local designation through the intensive-level survey process. All of these resources have been given a CHRSC of “5S3” to indicate their eligibility for listing (see Table 9).
As mentioned above, any proposed projects affecting these properties are already subject to review under the California Environmental Quality Act (CEQA) to analyze the project’s impact on the resource, and will require a Certificate of Appropriateness (C of A). Landmark Designation can make various preservation incentives available for individual properties within the district, including usage of the California Historic Building Code (CHBC) and the Mills Act, and will contribute to the preservation of these resources for the public to appreciate. Landmark Designation for these properties would be initiated at a later date, and would involve proper noticing of property owners and approval by the Cultural Heritage Commission and the City Council.
Table 9. Individual resources eligible as Landmark Properties (38 total)
APN Address Alternate Address Year Built HRI CHRSC Notes
003133006000_0000 1227 - 1237 COOMBS ST 1880 2 5S3
003133007000_0000 1219 - 1219 COOMBS ST 1219A Coombs St 1880 2 5S3
003133008000_0000 1213 - 1213 COOMBS ST 1870 2 5S3
003133009000_0000 1207 - 1207 COOMBS ST 1210 Pearl St 1895 2 5S3
003137005000_0000 1201 - 1201 MAIN ST 1935 5S3 Napa Firefighter's Museum
003143009000_0000 1202 - 1214 MAIN ST 964-980 Pearl St 1947 3 5S3 Lazarus-Grinsell Building
003172007000_0000 1038 - 1040 MAIN ST 1907 5S3, 7N1 Mathis-Flanagan Building
003173009000_0000 1100 - 1100 WEST ST 1900 2 5S3 City of Napa Parks & Recreation Building
003191002000_0000 1525 - 1527 POLK ST 1915 2 5S3 Christian Science Church
003191003000_0000 1133 - 1133 SEMINARY ST 1915 2 5S3
003193004000_0000 1778 - 1778 SECOND ST 1902 3 5S3 Golden State Lumber Inc
003193008000_0000 1790 - 1792 SECOND ST 1890 2 5S3
003193009000_0000 952 - 952 JEFFERSON ST 1890 2 5S3
003194005000_0000 1766 - 1776 SECOND ST 1776 Second St 1900 3 5S3
003196001000_0000 1645 - 1645 FIRST ST 1905 2 5S3
003196002000_0000 1635 - 1635 FIRST ST 1905 2 5S3
003196005000_0000 1607 - 1607 FIRST ST 1903 2 5S3
003197001000_0000 1461 - 1461 POLK ST 1880 2 5S3
003198001000_0000 1042 - 1042 SEMINARY ST 1905 2 5S3
003198018000_0000 1564 - 1564 FIRST ST 1915 3 5S3
Historic Context Statement & Survey Report Napa, California
APN Address Alternate Address Year Built HRI CHRSC Notes
003201004000_0000 827 - 827 CHURCH ST 1905 3 5S3
003202001000_0000 1553 - 1553 SECOND ST 1900 2 5S3
003205013000_0000 830 - 832 SCHOOL ST 1905 3 5S3
003206006000_0000 1426 - 1426 FOURTH ST 1930 3 5S3
003207006000_0000 1310 - 1310 SECOND ST 1960 5S3
003207008000_0000 920 - 930 FRANKLIN ST 1949 3 5S3
003209007000_0000 700 - 700 FRANKLIN ST 1895 2 5S3
003211001000_0000 1227 - 1245 FIRST ST 1916 3 5S3 Migliavacca Building (1916)
003214002000_0000 1141 - 1141 FIRST ST 1920 5S3
003214012000_0000 1139 - 1139 FIRST ST 1920 3 5S3
003241002000_0000 731 - 731 FIRST ST 1870 2 5S3
003243008000_0000 906 - 906 MCKINSTRY ST 1880 2 5S3
003251005000_0000 1763 - 1763 SECOND ST 1905 3 5S3
003251017000_0000 1742 - 1742 THIRD ST 1890 2 5S3
003251019000_0000 1766 - 1766 THIRD ST 1922 3 5S3
003271001000_0000 642 - 642 RANDOLPH ST 1880 3 5S3
003271005000_0000 623 - 623 COOMBS ST 1920 2 5S3
Treadway & Wigger Funeral Chapel 003300001000_0000 821 - 821 COOMBS ST 1915 3 5S3
Thirty-eight (38) properties previously listed in the HRI were re-evaluated and determined to be ineligible for listing in the national, state, or local historical registers as part of this intensive-level survey. The majority of these re-evaluated properties were previously listed in the HRI with a Map Score of “3,” meaning that they are not individually eligible for listing, but may be a contributor to the formation of a historic district, if such a district exists. However, upon further evaluation, these buildings do not appear have the significance to qualify individually, nor do they appear to be located within the boundaries of any eligible historic districts. Five properties no longer appear eligible for listing because they lack sufficient integrity to convey their significance. Five properties no longer appear eligible for listing because they are now vacant or contain an age-ineligible building. One property no longer appears eligible for listing because it was previously determined ineligible by the City Council. All of these resources (except vacant parcels) have been given a CHRSC of “6Z” to indicate their ineligibility for listing (see Table 10).
Page & Turnbull recommends that these re-evaluated resources determined ineligible for listing in any historical register should be removed from the HRI.
Table 10. Former HRI properties that appear ineligible for listing (38 total)
APN Address Address Built HRI CHRSC Notes
003136002000_0000 1343 - 1343 MAIN ST 1915 3 6Z (Integrity)
003136003000_0000 - 1327 MAIN ST 1895 3 6Z
003142001000_0000 - 1350 MAIN ST 3 6Z Shackford's
003144009000_0000 - 1105 WEST ST 915 Clinton 1970 3 -Napa Sanitation District Building (Age-Ineligible)
003147001000_0000 845 - 845 CLINTON ST 1905 3 6Z
003147006000_0000 - 1214 YAJOME ST 1930 3 6Z
003147007000_0000 1216 - 1216 YAJOME ST 1905 3 6Z
APN Address Alternate Address Year Built HRI CHRSC Notes
003147008000_0000 1234 - 1234 YAJOME ST 1920 3 6Z
003148002000_0000 815 - 851 CAYMUS ST 1885 3 6Z
003153008000_0000 1300 - 1338 PEARL ST 1920 3 6Z (Integrity)
003161006000_0000 1330 - 1330 CLAY ST 1880 3 6Z
003164006000_0000 1210 - 1210 FIRST ST 1925 3 6Z
003164021000_0001 1025 - 1025 COOMBS ST 1929 3 6Z Merrill's Building Annex
003182007000_0000 728 - 728 FIRST ST 1905 3 6Z (Integrity)
003182011000_0000 1045 - 1045 MCKINSTRY ST 0 3 -- (Vacant)
003197011000_0000 1526 - 1526 CLAY ST 1885 3 6Z
003197013000_0000 1120 - 1120 SEMINARY ST 0 3 -- (Vacant)
003201002000_0000 849 - 849 CHURCH ST 1559 Second St 1880 2 6Z Christian Advent Church; Valley Bible Chapel (Integrity)
003201003000_0000 835 - 835 CHURCH ST 1939 3 6Z 003202010000_0000 1532 - 1532 THIRD ST 1905 3 6Z
003203003000_0000 1501 - 1501 THIRD ST 1947 2 6Z
003205005000_0000 1406 - 1414 THIRD ST 1915 3 6Z
Union Service Station; previously determined ineligible by City Council
003205007000_0000 800 - 828 SCHOOL ST 1420 Third Street 1905 2 6Z (Integrity) 003208003000_0000 1324 - 1330 THIRD ST 1938 3 6Z 003209008000_0000 720 - 720 FRANKLIN ST 1940 3 6Z 003213008000_0000 720 - 720 RANDOLPH ST 0 3 -- (Vacant) 003213009000_0000 730 - 730 RANDOLPH ST 0 3 -- (Vacant) 003241003000_0000 711 - 711 FIRST ST 1910 3 6Z Oxbow
003241003000_0001 711 - 711 FIRST ST 718 Water Street 1870 3 6Z Oxbow 003241004000_0000 903 - 903 MCKINSTRY ST 1930 3 6Z Oxbow 003242001000_0000 876 - 876 WATER ST 1915 3 6Z Oxbow 003243002000_0000 633 - 633 FIRST ST 1890 3 6Z Oxbow 003243003000_0000 627 - 627 FIRST ST 1885 3 6Z Oxbow 003243004000_0000 619 - 619 FIRST ST 1885 3 6Z Oxbow 003243005000_0000 611 - 611 FIRST ST 1890 3 6Z Oxbow 003243006000_0000 605 - 605 FIRST ST 1870 3 6Z Oxbow 003243007000_0000 619 - 619 WATER ST 620 Water Street 1925 3 6Z Oxbow 003271009000_0000 630 - 632 RANDOLPH ST 1940 3 6Z
Although all age-eligible properties in the Downtown Napa Survey Area were photographed and documented with preliminary status codes in the database during the Downtown Napa IntensiveLevel Survey undertaking, not all were documented in detail on DPR 523 forms. As described in the methodology above, six properties less than 50 years of age (i.e. constructed between 1961 and 1965) were identified for future study, but were not captured by this intensive-level survey effort. These properties could therefore benefit from additional documentation in the future.
Page & Turnbull recommends that the properties in the Downtown Napa survey area that were assigned a CHRSC of “7N” (Needs to be re-evaluated) should be researched and documented on Building, Structure, Object Records (DPR 523 B forms), and further evaluated for potential eligibility for listing in the local register. DPR 523 A forms are not necessary, as basic information about these properties has already been captured in the Downtown Napa Intensive-Level Survey database. This recommendation applies to buildings constructed between 1961 and 1965 and historic bridges, and would be most efficiently addressed on a property-by-property basis as development pressures arise (see Table 11).
The production of future DPR 523 B forms will likely result in revisions to a property’s CHRSC. Once DPR 523 B Forms have been completed, all properties determined eligible should be officially designated as Landmark Properties, and should be assigned a revised CHRSC of “5S1.” Any properties determined ineligible for local listing after further research should be assigned a revised CHRSC of “6Z.”
Table 11. Properties recommended for future documentation on DPR 523 B Forms (9 total)
APN Address Alternate Address Year Built HRI CHRSC Notes
003137006000_0000 PEARL ST 1900 -- 7N Pearl Street Bridge
003143007000_0001 1216 - 1246 MAIN ST 1222-1246 Main Street 1963 -- 7N Lazarus Apartments
003167019000_0000 MAIN ST 1860 -- 7N Main Street Bridge
003201006000_0000 1538 - 1538 THIRD ST 1940 3 7N*
003202011000_0000 827 - 827 SCHOOL ST 1505 Second Street 1965 -- 7N First Bank
003203001000_0000 1531 - 1531 THIRD ST 1963 -- 7N Val's Liquors; Chateau Barber Shop
003206001000_0000 1441 - 1441 THIRD ST 1964 -- 7N Nation's Giant Hamburgers/Mel's Junior Drive In 003211009000_0000 950 - 950 RANDOLPH ST 1962 -- 7N 003222010000_0000 1010 - 1040 THIRD ST 1965 -- 7N
* Page & Turnbull found the property at 1538 Third Street to meet the eligibility criteria for listing as a local landmark, and suggested a “5S3” status code. However, during the public outreach process for this survey, the property owner of 1538 Third Street objected to the survey findings, and a peer review of Page & Turnbull’s findings was conducted, resulting in a difference of professional opinions. The “7N” status code assigned here indicates that further study will be needed to resolve this difference of opinions; in the future, the City Council could consider supplemental information or opinions in addition to Page & Turnbull’s findings to determine whether this property is eligible for local landmark designation.
In order to protect the historic character of Downtown Napa, Page & Turnbull recommends implementing historic resources design guidelines to guide the placement and appearance of compatible infill construction as the neighborhood continues to develop in the twenty-first century. The “Design Guidelines for the Napa Abajo/Fuller Park Historic District” (April 1998) and the “Soscol Corridor/Downtown Riverfront Development & Design Guidelines” (August 2000) are currently used to guide development related to historic resources in Downtown. Specific guidelines for historic resources in Downtown Napa will be developed by Page & Turnbull as part of the Downtown Specific Plan and will build upon these existing documents.
Page & Turnbull’s memorandum “Napa Historic Resources Inventory (HRI) Update” (20 November 2009) outlines the method for converting the City of Napa’s current HRI rankings—which are based on the 1995 City-Wide Survey methodology—to a more uniform system based on California Historical Resource Status Codes (CHRSC). Creating and maintaining the HRI is an ongoing process, as the accuracy of older surveys diminishes with time and more uncharted areas are incorporated into the city limits. The original 1995 City-Wide Survey was based exclusively on age and visual evidence of significance, and de-emphasized the importance of post-1945 buildings. This updated system will strengthen the process of identifying and protecting Napa’s historic resources based on twenty-first century survey methodology, and will bring the HRI up to state-wide standards. (See Appendix for a full version of the memorandum and a description of all CHRSCs). The following recommendations for how to integrate the Downtown Napa survey results into the existing HRI system are based on this memorandum.
Depending on their status, properties throughout the city listed on the HRI are subject to varying levels of design review by the CHC and staff. Certificates of Appropriateness (C of A) are required as follows:
Landmarks & Landmark Districts: C of A is required for any new construction; alterations and additions to a Landmark or a contributing resource in a Landmark District; alteration or addition to a non-contributing resource in a Landmark District; changes to major interior architectural features of a publicly-owned Landmark; and demolition of a building or structure.
Neighborhood Conservation Properties: C of A is required for any substantial construction visible from a public way; substantial alteration or addition visible from a public way; and demolition of a building or structure.
Historic Resource Inventory (HRI) Properties: C of A is required for demolition. The CHC reviews demolitions of all properties with a Map Score of “1” or “2” and properties with a Map Score of “3” within a potential historic district, while staff reviews demolitions of properties with a Map Score of “3” outside a potential historic district.
Historic resources should be subject to design review under the new HRI system (using CHRSCs) as follows. This updated design review process is based on the existing policies and could be effective immediately, although it could be further refined at the City’s discretion.
“5S1,” “5D1” or “5B” is an individual Landmark Property or contributor to a Landmark District, and should continue to be reviewed as such (CHC)
 “1S” or “1D” is a National Register-listed property; National Register properties meet or exceed the significance criteria required for designation as a local Landmark Property or Landmark District, and thus should be reviewed in the same manner as Landmark Properties or contributors to Landmark Districts (CHC)
 “3S” or “3B” is automatically equivalent to Map Score of “1” and should continue to be reviewed as such (CHC)
 “3CS” is comparable to those properties listed in the HRI with a Map Score of “1” or “2” and should be reviewed as such by the CHC
 “5S3” is automatically equivalent to Map Score of “2” and should continue to be reviewed as such (CHC)
 “3D” or “5D3” is comparable to Map Score of “3” within a potential historic district and should be reviewed as such by the CHC
 “6L” is comparable to Map Score of “3” outside a potential historic district and should be reviewed as such by staff
 “6Z” properties do not need to be officially designated, and are not subject to review
For a complete list of properties with each CHRSC, see Appendix.
Since the HRI was originally formed in 1995, more properties have become age-eligible, more areas have been incorporated into the city limits, and survey methodologies have been updated. Properties within the Downtown Napa survey area constructed before 1965 and not otherwise rated were assigned a CHRSC of “7N” (Needs to be reevaluated), and should be systematically re-evaluated.
In order to prevent demolition of potential historic resources while the conversion of the HRI system takes place, all properties with a CHRSC of “7N” should be reviewed by staff as a building or demolition permit is filed. The property’s CHRSC should be updated at this time, with additional research completed as necessary. If the property is still determined to be significant, staff should check to see whether the property retains sufficient integrity to convey its significance, and whether the surrounding area qualifies as a potential historic district. If so, the demolition permit application would be referred to the CHC. If not, staff would process the demolition permit application.
The California Environmental Quality Act (CEQA) is state legislation (Pub. Res. Code 21000 et seq.) which requires state and local agencies to identify the significant environmental impacts of a proposed project and propose measures to avoid or mitigate adverse effects, if necessary.142 CEQA is concerned with a wide variety of environmental factors, including historic and cultural resources.
CEQA applies to “projects” proposed to be undertaken or requiring approval from state or local government agencies. “Projects” are defined as “…activities which have the potential to have a physical impact on the environment and may include the enactment of zoning ordinances, the issuance of conditional use permits and the approval of tentative subdivision maps.”143 Historic and cultural resources are considered to be part of the environment, and therefore should a project be proposed that may physically alter an eligible or designated historic resource, the lead agency must complete the environmental review process as required by CEQA. In the Downtown Napa Survey Area, the City of Napa will generally act as the lead agency.
A building may qualify as a historic resource if it falls within at least one of four categories listed in CEQA Guidelines Section 15064.5(a). The four categories are:
1) A resource listed in, or determined to be eligible by the State Historical Resources Commission, for listing in the California Register of Historical Resources (Pub. Res. Code SS5024.1, Title 14 CCR, Section 4850 et seq.).
142 State of California, California Environmental Quality Act, http://ceres.ca.gov/topic/env_law/ceqa/summary.html, accessed 2009.
143 Ibid.
2) A resource included in a local register of historical resources, as defined in Section 5020.1(k) of the Public Resources Code or identified as significant in an historical resource survey meeting the requirements of section 5024.1 (g) of the Public Resources Code, shall be presumed to be historically or culturally significant. Public agencies must treat any such resource as significant unless the preponderance of evidence demonstrates that it is not historically or culturally significant.
3) Any object, building, structure, site, area, place, record, or manuscript which a lead agency determines to be historically significant or significant in the architectural, engineering, scientific, economic, agricultural, educational, social, political, military, or cultural annals of California may be considered to be an historical resource, provided the lead agency’s determination is supported by substantial evidence in light of the whole record. Generally, a resource shall be considered by the lead agency to be “historically significant” if the resource meets the criteria for listing on the California Register of Historical Resources (Pub. Res. Code SS5024.1, Title 14 CCR, Section 4852).
4) The fact that a resource is not listed in, or determined to be eligible for listing in the California Register of Historical Resources, not included in a local register of historical resources (pursuant to section 5020.1(k) of the Pub. Resources Code), or identified in an historical resources survey (meeting the criteria in section 5024.1(g) of the Pub. Resources Code) does not preclude a lead agency from determining that the resource may be an historical resource as defined in Pub. Resources Code sections 5020.1(j) or 5024.1.
To summarize, resources officially listed or determined eligible for the California Register (including those listed or determined eligible for the National Register) are considered historic resources for the purposes of CEQA. Resources which have been officially designated in a local register of historic resources or recognized as historically significant by a local government pursuant to a local ordinance or resolution (such as the City of Napa’s HRI), as well as resources identified as significant with a CHRSC of 3 or 5 in an adopted survey (such as the Downtown Napa Intensive-Level Survey) are also recognized as historic resources under CEQA.
Within the Downtown Napa Intensive-Level Survey Area, the following buildings are considered historic resources for the purposes of CEQA. If any project were proposed that could have an effect on these properties, some level of environmental review would be required.
A number of resources are individually listed in the National Register, and therefore are automatically listed in the California Register (1S). Some resources in the survey area are also included in the National Register as contributors to the Napa Abajo/Fuller Park Historic District (1D). These resources fall within Category 1, and therefore appear to qualify as historic resources under CEQA.
Resources currently listed in the Napa HRI as Landmark Properties (5S1), or properties that appear eligible for local designation through this survey effort (5S3) fall within Category 2, and therefore appear to qualify as historic resources under CEQA.
Properties that appear eligible for listing in the National Register (3S or 3D) can also be assumed to meet the criteria for listing on the California Register of Historical Resources.
These properties fall within Category 3, and therefore appear to qualify as historic resources under CEQA.
Properties designated with a CHRSC of “6L” or “6Z” are not eligible for listing, and therefore would not likely qualify as historic resources under CEQA.
Properties designated with a CHRSC of “7N” should be further evaluated in conjunction with a proposed project to determine whether or not they qualify as historic resources under CEQA.
The Downtown Napa survey area has played an important role in the City of Napa’s development, and contains some of the city’s finest historic resources. The most significant force that shaped the built environment in Downtown Napa was commercial development, although residential growth, industrial development, and transportation were also important themes. Since the Victorian era, Downtown Napa has served as a focal point for the surrounding agricultural area, housing important commercial, municipal, and manufacturing uses. Residential construction occurred on the outskirts of the commercial core, and residential resources reflect a variety of different periods, architectural styles, and socio-economic backgrounds. In the 1960s and 1970s, urban renewal efforts resulted in the demolition of many grand Downtown buildings, but today, redevelopment and historic preservation are no longer mutually exclusive.
The historical narrative and property types guide presented in this historic context statement provide a foundation for identifying and understanding historic resources within the Downtown Napa survey area. Using the information contained herein, it should be possible for city staff, historical consultants, and community parties to understand how individual historic properties connect with the neighborhood’s social, cultural, commercial or developmental context.
The intensive-level survey of the Downtown Napa survey area documented and evaluated selected individual residential, commercial, industrial, and civic/institutional properties within the survey area. In addition to the 60 historic resources already listed or determined eligible for listing in national, state or local registers, the Downtown Napa Intensive-Level Survey found 18 individually significant properties that may be eligible for local designation as Landmark Properties. Please refer to the survey report chapter and associated spreadsheets and forms for more detailed survey information.
Beard, Yolande S. The Wappo: A Report. St. Helena: by author, 1977.
Conaway, James. The Far Side of Eden. Boston: Houghton Mifflin, 2002.
Coodley, Lauren, and Paula Amen Schmitt. Napa: The Transformation of an American Town. Charleston, SC: Arcadia Publishing, 2007.
Dillon, Richard H. Napa Valley Heyday. San Francisco: Book Club of California, 2004.
Gregory, Tom. History of Solano & Napa Counties, California, with biographical sketches of the leading men and women of the counties who have been identified with its growth and development from the early days to the present time. Los Angeles, CA: Historic Record Co., 1912.
Heintz, William F. California’s Napa Valley: One Hundred Sixty Years of Wine Making. San Francisco: Scottwall Associates, 1999.
Heizer, Robert Fleming. The Archaeology of the Napa Region. Berkeley: UC Press, 1953.
History and Bibliography of the Mexican Ranchos of Napa. San Diego, Ca: San Diego Blue Print Co., n.d.
History of Napa and Lake Counties, CA. San Francisco: Slocum, Bowen, 1881.
Illustrations of Napa County CA. Oakland, CA: Smith & Elliot, 1878.
Kernberger, David and Kathleen. Mark Strong’s Napa Valley, 1886-1924. St. Helena: Historic Photos, Publishers, 1978.
Kilgallin, Anthony Raymond. Napa: An Architectural Walking Tour. Charleston, SC: Arcadia Publishing, 2001.
King, Norton L. Napa County: An Historical Overview. Napa, CA: Napa County Superintendent of Schools, 1967.
Menefee, Campbell Augustus. Historical and Descriptive Sketchbook of Napa, Sonoma, Lake and Mendocino. Napa CA: Reporter Publishing House, 1873. Reprint Fairfield, California: J. Stevenson, 1993.
Napa City and County Portfolio and Directory. Napa, CA: H.A. Darms, 1908.
Swett, Ira L. and Harry C. Aiken, Jr. The Napa Valley Route: Electric Trains and Steamers. Glendale, CA: Interurban Press, 1988.
Verardo, Denzil. Napa Valley: From Golden Fields to Purple Harvest. Northridge, CA: Windsor Publications, 1986.
Weber, Lin. Defeat and Triumph in the Napa Valley. St. Helena, CA: Wine Venture Publishing, 2005.
Napa. Charleston, SC: Arcadia Publishing, 2004.
_____.
_____. Old Napa Valley: The History to 1900. St. Helena, CA: Wine Venture Publishing, 1998.
_____. Roots of the Present: Napa Valley 1900 to 1950. St. Helena, CA: Wine Venture Publishing, 2001.
City of Napa Municipal Code. Title 17: Zoning. Chapter 17.38 Floodplain Management Overlay District.
City of Napa, Planning Department Archives
Napa City Directories. 1928-1947. Napa County Historical Society Archives Sanborn Fire Insurance Maps
Carson, L. Pierce. “How Napa’s Ag Preserve beat the odds, and saved the valley.” Napa Valley Register (20 April 2008). Accessed at <http://www.napavalleyregister.com/articles/2008/04/20/news/local/doc480ad4d586794 035784640.txt> (accessed 19 December 2008).
Coodley, Lauren. “Local History: Napa Valley Market Place articles.” Napa Valley Marketplace, 20042007. Accessed at <http://nvmarketplace.wordpress.com/category/history> (accessed 1 December 2008).
Stanley, Pat. “Napa, American Canyon grew up with communities of Mare Island Workers.” Napa Valley Register (1 April 2006). Accessed at <http://www.napavalleyregister.com/articles/2006/04/01/news/local/iq_3355988.txt> (accessed 15 December 2008).
Bloomfield, Anne. A Residential Context for the Cultural Resources of the City of Napa. Prepared for Planning Department, City of Napa, January 1996.
Buell, Sabrina. “A Local History of East Napa.” Napa, CA: Oxbow School, Summer 1998.
Davis, D.T. History of Napa County. Napa, CA: unknown, 1940.
Hanrahan, Virginia. Napa County History: 1823-1948. Napa, CA: unknown, 1948.
“Historic American Engineering Record: First Street Bridge over Napa Creek.” San Francisco: National Park Service, 2005.
Kernberger, Kathleen. “The Migliavacca Building.” Unknown, 15 June 1973.
Napa County Board of Supervisors. “Napa County, California.” Napa, CA: unknown, 1907.
Napa, the Valley of Legends: 150 Years of History. Napa, CA: unknown, 1997. Pacific Aerial Surveys. Aerial Photographs. 1958-1995.
Torotorolo, Mario J. “History of Napa Water Supply.” Napa County Historical Society Gleanings, 2:2 (May 1978). In City of Napa Planning Department Archives.
California Department of Parks and Recreation. “Sonoma State Historic Park: Mission San Francisco Solano.” <http://www.napanet.net/~sshpa/mission.htm> (accessed 29 October 2008).
California Highways. State Route 29. < http://www.cahighways.Calfironorg/025-032.html#029> (accessed 3 March 2009).
City of Napa. “Historic Resources Inventory.” <http://www.cityofnapa.org/index.php? option=com_content&task=view&id=361&Itemid=602#3> (accessed 2 January 2009).
City of Napa. ‘The History of Napa.” <http://www.cityofnapa.org/index.php?option=com_ content&task=view&id=221&Itemid=300> (accessed 17 October 2008).
Napa Chamber of Commerce, <http://napachamber.com/agpreserve.html> (accessed 19 December 2008).
Napa County Geneaology. “Timeline of Napa County History.” 15 December 2003. Excerpted from From Golden Fields to Purple Harvest. <http://www.cagenweb.com/napa/2napa_chron.htm> (accessed 17 October 2008).
_____. “A Brief History of Napa County.” 18 July 2007. <http://www.napacountygenealogy.com/NapaCountyHistory.htm> (accessed 17 October 2008).
Napa County Historical Society. <http://www.napahistory.org/> (accessed 17 October 2008).
Napa Flood and Water Conservation District. About Measure A. <http://www.co.napa.ca.us/GOV/Departments/DeptPage.asp?DID=6&LID=1690> (accessed 3 March 2009).
Napa Valley Wine Train <http://www.winetrain.com/> (accessed 26 December 2008).
U.S. Census Records. <http://www.ancestry.com/> (accessed 17 October 2008).
“Downtown Napa Development, 1850-1960”
Map of survey area, showing overview of construction dates. The map was prepared by Page & Turnbull, using data provided by the Napa County Assessor’s Office and corrected during the course of the intensive-level survey.
“Downtown Napa Documentation Summary”
Map of survey area, showing extent of Downtown Napa Intensive-Level Survey. The map was prepared by Page & Turnbull, using data provided by the Napa County Assessor’s Office.
“Downtown Napa Intensive-Level Survey Results”
Map of survey area, showing California Historic Resource Status Codes (CHRSC) assigned during the Downtown Napa Intensive-Level Survey. See Appendix for full definitions of each CHRSC. The map was prepared by Page & Turnbull, using data provided by the Napa County Assessor’s Office.
This section includes Page & Turnbull’s memorandum “Napa Historic Resources Inventory (HRI) Update” (20 November 2009), which outlines the city-wide changes to the HRI rating system.
DATE 20 November 2009
TO Jennifer LaLiberte
OF City of Napa, Economic Development Dept./ Napa Community Redevelopment Agency 1600 Clay Street Napa, CA 94559
CC Marlene Demery, City of Napa Ruth Todd, Page & Turnbull
PROJECT NO 08024
PROJECT NAME Heritage Napa
FROM Rebecca Fogel & Caitlin Harvey
VIA Email
This memorandum discusses the method for converting the City of Napa’s current HRI rankings— which are based on the 1995 City-Wide Survey methodology—to a more uniform system based on California Register of Historical Resources (CRHR) Status Codes. (See attached sheet for a full description of all CRHR Status Codes).
The following approach should be vetted with City of Napa staff and the Office of Historic Preservation (OHP) to ensure accuracy.
The current ranking system for the HRI was established by the Napa City-Wide Survey, completed in 1995 by San Buenaventura Research Associates of Santa Paula, California. As part of this windshield survey, buildings were rated and listed in the HRI according to a 1 to 5 point system called Map Score, defined as follows:
(–) Not rated (usually, a vacant parcel)
(1) Appears to be individually eligible for listing on the NRHP; already is listed or has been previously determined eligible for listing.
(2) Appears to be individually eligible for designation as a City Landmark; already is designated or has been previously determined eligible for listing.
(3) Not individually eligible for NRHP listing or designation as a landmark, but may be a contributor to the formation of an historic district.
(4) Ineligible; a non-contributor to a district.
(5) Not rated (usually, a non-visible property)
The Map Score for each property was derived from a combination of the building’s construction date, Visual Estimate of Significance (VES) score, and integrity. According to the 1995 Survey Report, this system “served to weight the Map Scores for properties with similar visual characteristics towards higher levels of significance based on greater age. This weighting system also de-emphasized the importance of post-1945 buildings, but permitted the identification of architecturally significant contemporary buildings.” 1
In addition to the HRI ranking/Map Score, properties listed on the HRI can be designated as Landmark Properties, Landmark Districts, or Neighborhood Conservation Properties. Depending on their status, properties listed on the HRI are subject to varying levels of design review by the CHC and staff. Certificates of Appropriateness (C of A) are required as follows:
Landmarks & Landmark Districts: C of A required for any new construction; alterations and additions to a Landmark or a contributing resource in a Landmark District; alteration or addition to a noncontributing resource in a Landmark District; changes to major interior architectural features of a publicly-owned Landmark; and demolition of a building or structure.
Neighborhood Conservation Properties: C of A required for any substantial construction visible from a public way; substantial alteration or addition visible from a public way; and demolition of a building or structure.
Historic Resource Inventory (HRI) Properties: C of A required for demolition. The CHC reviews demolitions of all properties with a Map Score of “1” or “2” and properties with a Map Score of “3” within a potential historic district, while staff reviews demolitions of properties with a Map Score of “3” outside a potential historic district.
The first step in updating the HRI rankings is to cross-reference existing documentation (CHRIS Database and City of Napa Combined HRI List), and record existing CRHR status codes. All properties listed individually in the National Register will receive a status code of “1S,” while properties which are contributors to a National Register historic district will receive a status code of “1D.” All properties listed on the HRI as “Landmark Properties” will receive a status code of “5S1,” while properties listed on the HRI as “Landmark Districts” will receive a status code of “5D1.” All properties with other status codes will also be recorded.
Once these properties’ existing status codes have been recorded, the current HRI rankings (Map Score) of the remaining properties will automatically be converted to CRHR Status Codes as follows:
Map Score of “1” CRHR Status Code “3S” (“Appears eligible for NR as an individual property through survey evaluation”)
Map Score of “2” CRHR Status Code “5S3” (“Appears to be individually eligible for local listing or designation through survey evaluation”)
Map Score of “3” CRHR Status Code “7N” (“Needs to be reevaluated”). The 1995 survey identified these properties as potential contributors to a potential historic district; however, without documentation of such a district, these properties cannot be given an accurate CRHR status code. Therefore, properties with a Map Score of “3” should be systematically re-evaluated and recorded as they are studied. Some properties may ultimately become contributors to a historic district, or may be determined ineligible if no district exists in the vicinity.
Map Score of “4” CRHR Status Code “6Z” (“Found ineligible for NR, CR, or Local designation through survey evaluation”) or CRHR Status Code “7N” (“Needs to be reevaluated”). The 1995 survey assigned a Map Score of “4” to two categories of properties: those with poor integrity or architectural significance, and those located within Historic Resource Planning Areas (HRPAs)
constructed after 1950. Properties which were given a Map Score of “4” because they are a poor example of an architectural style or have undergone major alterations can be safely assumed to be ineligible for listing in the national, state, or local registers, and thus should be assigned a CRHR Status Code of “6Z.” Properties which were given a Map Score of “4” because they are located within an HRPA but were constructed between 1950 and 1965 cannot be given an accurate CRHR status code without additional documentation; they should be assigned a CRHR Status Code of “7N” and reevaluated at a later date based on updated survey methodology.
Map Score of “5” CRHR Status Code “7” (“Not Evaluated for NR or CR, or Needs Reevaluation”). These properties should be evaluated at a later date.
Since the HRI was originally formed in 1995, more properties have become age-eligible. Any properties constructed before 1965 and not otherwise rated should thus be assigned a CRHR Status Code “7” (“Not Evaluated for NR or CR, or Needs Reevaluation”), and should be evaluated at a later date.
Once the HRI ranking system has been updated, properties with a CRHR Status Code of “7” or “7N” should be systematically re-evaluated. An updated reconnaissance-level survey could better identify some of the “7” properties, while intensive-level survey(s) would identify historic districts in order to refine the classification of “7N” properties.
In order to prevent demolition of potential historic resources while this conversion takes place, all properties with a CRHR Status Code of “7” or “7N” should be reviewed by staff. The property’s CRHR Status Code should be updated at this time, with additional research completed as necessary.
If the property is still determined to be significant, staff should check to see whether the property still has sufficient integrity to convey its significance, and whether the surrounding area qualifies as a potential historic district. If so, the demolition permit application would be referred to the CHC. If not, staff would process the demolition permit application.
Creating and maintaining the HRI is an ongoing process, as the accuracy of older surveys diminishes with time and more uncharted areas are incorporated into the city limits. The CHC has continued to update the HRI, as well as expand the scope and depth of the surveys with the goal of ultimately covering the entire City of Napa. The proposed changes to the HRI rating system will further strengthen this process of identifying and protecting Napa’s historic resources.
1 San Buenaventura Research Associates, “Napa City-Wide Historic Resources Survey: Methodology and Results Report” (Napa: unpublished report, March 1995), in City of Napa Planning Division Archives, 6.
The following table includes a list of all California Historical Resource Status Codes (CHRSC) for reference.
Downtown Napa Heritage Napa Historic Context Statement & Survey Report Napa, California Turnbull,
1 Properties listed in the National Register (NR) or the California Register (CR)
1D Contributor to a district or multiple resource property listed in NR by the Keeper. Listed in the CR.
1S Individual property listed in NR by the Keeper. Listed in the CR.
1CD Listed in the CR as a contributor to a district or multiple resource property by the SHRC
1CS Listed in the CR as individual property by the SHRC.
1CL Automatically listed in the California Register – Includes State Historical Landmarks 770 and above and Points of Historical Interest nominated after December 1997 and recommended for listing by the SHRC.
2 Properties determined eligible for listing in the National Register (NR) or the California Register (CR)
2B Determined eligible for NR as an individual property and as a contributor to an eligible district in a federal regulatory process. Listed in the CR.
2D Contributor to a district determined eligible for NR by the Keeper. Listed in the CR.
2D2 Contributor to a district determined eligible for NR by consensus through Section 106 process. Listed in the CR.
2D3 Contributor to a district determined eligible for NR by Part I Tax Certification. Listed in the CR.
2D4 Contributor to a district determined eligible for NR pursuant to Section 106 without review by SHPO. Listed in the CR.
2S Individual property determined eligible for NR by the Keeper. Listed in the CR.
2S2 Individual property determined eligible for NR by a consensus through Section 106 process. Listed in the CR.
2S3 Individual property determined eligible for NR by Part I Tax Certification. Listed in the CR.
2S4 Individual property determined eligible for NR pursuant to Section 106 without review by SHPO. Listed in the CR.
2CB Determined eligible for CR as an individual property and as a contributor to an eligible district by the SHRC.
2CD Contributor to a district determined eligible for listing in the CR by the SHRC.
2CS Individual property determined eligible for listing in the CR by the SHRC.
3 Appears eligible for National Register (NR) or California Register (CR) through Survey Evaluation
3B Appears eligible for NR both individually and as a contributor to a NR eligible district through survey evaluation.
3D Appears eligible for NR as a contributor to a NR eligible district through survey evaluation.
3S Appears eligible for NR as an individual property through survey evaluation.
3CB Appears eligible for CR both individually and as a contributor to a CR eligible district through a survey evaluation.
3CD Appears eligible for CR as a contributor to a CR eligible district through a survey evaluation.
3CS Appears eligible for CR as an individual property through survey evaluation.
4 Appears eligible for National Register (NR) or California Register (CR) through other evaluation
4CM Master List - State Owned Properties – PRC §5024.
5D1 Contributor to a district that is listed or designated locally.
5D2 Contributor to a district that is eligible for local listing or designation.
5D3 Appears to be a contributor to a district that appears eligible for local listing or designation through survey evaluation.
5S1 Individual property that is listed or designated locally.
5S2 Individual property that is eligible for local listing or designation.
5S3 Appears to be individually eligible for local listing or designation through survey evaluation.
5B
Locally significant both individually (listed, eligible, or appears eligible) and as a contributor to a district that is locally listed, designated, determined eligible or appears eligible through survey evaluation.
6C
Determined ineligible for or removed from California Register by SHRC.
6J Landmarks or Points of Interest found ineligible for designation by SHRC.
6L Determined ineligible for local listing or designation through local government review process; may warrant special consideration in local planning.
6T
Determined ineligible for NR through Part I Tax Certification process.
6U Determined ineligible for NR pursuant to Section 106 without review by SHPO. Removed from NR by the Keeper. ineligible for the NR by SHRC or Keeper. ineligible for NR by consensus through Section 106 process – Not evaluated for CR or Local Listing. Found ineligible for NR, CR or Local designation through survey evaluation.
7 Not Evaluated for National Register (NR) or California Register (CR) or Needs Revaluation by OHP for evaluation or action but not yet evaluated. Resubmitted to OHP for action but not reevaluated. State Historical Landmarks 1-769 and Points of Historical Interest designated prior to January 1998 – Needs to be reevaluated using current standards.
7M Submitted to OHP but not evaluated - referred to NPS.
7N Needs to be reevaluated (Formerly NR Status Code 4)
7N1 Needs to be reevaluated (Formerly NR SC4) – may become eligible for NR w/restoration or when meets other specific conditions. Identified in Reconnaissance Level Survey: Not evaluated.
7W Submitted to OHP for action – withdrawn.
Attached are the Historic Resource Inventory forms completed by Napa County Landmarks as part of the 1978 Survey.
 
     
     
     
     
     
     
     
     
     
     
     
     
     
     
     
     
     
     
     
     
     
     
     
     
     
     
     
     
     
     
     
     
     
     
     
     
     
     
     
     
     
     
     
     
     
     
     
     
     
     
     
     
     
     
     
     
     
     
     
     
     
     
     
     
     
     
     
     
     
     
     
     
     
    The following spreadsheet was compiled by Page & Turnbull in consultation with City staff to select which properties would be documented on DPR 523 B and D forms.
003133011000_00001240 - 1240 PEARL STAmerican Legion HallYesHigh01961Building Permit6Z
003136003000_00001327 - 1327 MAIN ST
YesMedium01895Sanborn Maps191536Z
003137005000_00001201 - 1201 MAIN STNapa Firefighter's MuseumYesMedium01935Sanborn Maps5S3
003142001000_00001350 - 1350 MAIN STShackford'sYesHigh19360193036Z 003142014000_00001326 - 1326 MAIN STMathis Furniture Co.YesHigh01920Sanborn Maps6Z 003143009000_00001202 - 1214 MAIN ST964-980 Pearl StLazarus BuildingYesHigh1947Building Permit193035S3 003147001000_0000845 - 845 CLINTON ST
YesMedium19001905Sanborn Maps190536Z 003147006000_00001214 - 1214 YAJOME ST
YesHigh19041930Sanborn Maps190036Z 003147007000_00001216 - 1216 YAJOME ST
YesHigh19001905Sanborn Maps189536Z 003147008000_00001234 - 1234 YAJOME ST
YesMedium19101920Sanborn Maps192536Z 003148002000_0000815 - 851 CAYMUS ST
YesHigh19051885Sanborn Maps189036Z 003161001000_00011339 - 1339 PEARL ST1128 Franklin Street
YesHigh19921925Architectural Estimate6Z 003161005000_00001300 - 1300 CLAY STAT&TYesMedium01946Sanborn Maps6Z 003161006000_00001330 - 1330 CLAY ST
YesHigh19051880Sanborn Maps1900 30006Z 003161007000_00001340 - 1340 CLAY STCity of Napa Water Division OfficeYesMedium01880Sanborn Maps6Z 003164006000_00001210 - 1210 FIRST ST YesHigh01925HRI192036Z 003172010000_00001144 - 1146 MAIN ST1142-1146 Main StreetBloom creative hair design and art galleryYesHigh19400 6Z 003182009000_0000708 - 714 FIRST ST1021 - 1027 McKinstry YesHigh19480 6Z 003191004000_00001600 - 1600 CLAY ST1107-1115 SeminaryEconomic Development Dept.YesMedium19550 6Z 003192002000_00001700 - 1700 FIRST STBank of AmericaYesHigh19581957 6Z 003193004000_00001778 - 1778 SECOND STGolden State Lumber IncYesHigh19501902Research or Deed19053YES5S3 003194005000_00001766 - 1776 SECOND ST1776 Second St
YesMedium01900Sanborn Maps190535S3 003195001000_00001600 - 1600 FIRST STCity of Napa Community Services BuildingYesHigh01958Building Permit6Z 003197010000_00001514 - 1514 CLAY ST
YesHigh01905Sanborn Maps6Z 003197011000_00001526 - 1526 CLAY ST YesHigh18981885Sanborn Maps18953YES6Z 003198018000_00001564 - 1564 FIRST ST YesHigh01915Sanborn Maps19153YES5S3 003199014000_00011539 - 1539 FIRST ST955 School StreetCity HallYesHigh01951HRI 6Z 003201003000_0000835 - 835 CHURCH ST
YesHigh1939019203YES6Z 003201004000_0000827 - 827 CHURCH ST
YesHigh19111905Sanborn Maps19053YES5S3 003201006000_00001538 - 1538 THIRD ST
YesHigh01940Research or Deed19353YES7N 003202010000_00001532 - 1532 THIRD ST
YesHigh01905HRI19053YES6Z 003203002000_00001517 - 1521 THIRD ST
YesHigh01954Research or Deed6Z 003203005000_00001512 - 1512 FOURTH ST701- 705 School Street
YesHigh19001905Sanborn MapsYES6Z 003204006000_00001400 - 1420 SECOND ST
YesMedium01953Building Permit6Z 003204007000_00001424 - 1436 SECOND ST
YesMedium01948Building Permit6Z 003205007000_0000800 - 828 SCHOOL ST1424-38 Third StreetIntegrityNoLow19050191026Z 003205007000_0001800 - 828 SCHOOL ST828 School Street YesHigh19050 6Z 003205011000_00001407 - 1417 SECOND ST YesMedium19530 6Z 003205013000_0000830 - 832 SCHOOL ST
YesHigh01905HRI190535S3 003206006000_00001426 - 1426 FOURTH ST
YesHigh01930HRI19303YES5S3 003207006000_00001310 - 1310 SECOND STNapa Savings and LoanYesHigh01960Aerial Photo5S3 003207008000_0000920 - 930 FRANKLIN ST
YesHigh01949Building Permit195035S3 003207011000_00001321 - 1321 FIRST ST
YesLow19501964Building Permit6Z 003208002000_0000819 - 819 RANDOLPH STZeller's Hardware StoreIntegrityNoLow01940Architectural Estimate6Z 003208002000_0001819 - 819 RANDOLPH ST1322 Third Street
YesHigh01929Sanborn Maps6Z 003208003000_00001324 - 1330 THIRD ST
YesHigh19401938Research or Deed192536Z 003209008000_0000720 - 720 FRANKLIN ST YesHigh01940HRI19403YES6Z 003211001000_00001227 - 1245 FIRST STMigliavacca Building (1916)YesHigh19160191635S3 003214002000_00001141 - 1141 FIRST ST
YesHigh19001920HRI 5S3 003214012000_00001139 - 1139 FIRST ST YesHigh01920HRI192035S3 003231002000_0001967 - 975 FIRST ST967 First St
YesHigh01951Research or Deed6Z 003251005000_00001763 - 1763 SECOND ST
YesHigh19001905Sanborn Maps191035S3 003251019000_00001766 - 1766 THIRD ST YesHigh19220191535S3 003251021000_00001790 - 1790 THIRD ST
YesMedium19101915Sanborn Maps6Z 003271001000_0000642 - 642 RANDOLPH ST
YesHigh19481880Sanborn Maps190035S3 003271009000_0000630 - 632 RANDOLPH ST
YesHigh01940HRI194036Z 003300001000_0000821 - 821 COOMBS ST
YesHigh19101915HRI1915 30005S3 003300002000_0000830 - 830 RANDOLPH ST
YesMedium19101930Architectural Estimate6Z 003300005000_0000811 - 811 COOMBS ST
YesHigh19081905Sanborn Maps6Z 003300007000_0000801 - 801 COOMBS ST
YesHigh 19200 6Z
Mathis-Flanagan Building 19070 18801 5S3, 7N11978 SURVEY 003192005000_00001775 - 1775 CLAY ST
Noyes Mansion Carriage House Update High 01902Architectural Estimate19042 YESYES3B, 5B1978 SURVEY 003209005000_0000 1333 Third Street/Randolph StreetPresbyterian Day School Update High 01960Aerial Photo YES6Z 003221012000_0001900 - 900 BROWN ST Bank of Napa/Wells Fargo Addition Update High 19241934Architectural Estimate 1S, 5S11978 SURVEY 003262006000_0000629 - 629 RANDOLPH STFranklin St Bonner Educational Building Update High 01955Aerial Photo 6Z 003262006000_0001629 - 629 RANDOLPH ST1301 Fourth St Centennial Hall/Adams Hall Update High 01952Date on Building 6Z 003275003000_00001071 - 1091 FIFTH ST
City of Napa Police Station Update High 19431949Date on Building 6Z 003277006000_0000540 - 540 MAIN ST
Hatt Complex: Hay Warehouse, Napa General SUpdate Low 19601959Date on Building 6Z 003277006000_0001540 - 540 MAIN ST
Hatt Complex: Wharf Shed; Angele RestaurantUpdate Low 19601893Date on Building 6Z1978 SURVEY 003277008000_0000MAIN ST 951 5th Street Hatt Complex: Annex #1 Update Low 1890Sanborn Maps 00006Z 003277008000_0001MAIN ST
Hatt Complex: Napa Mill Silo Update High 1944Date on Building 6Z 003182007000_0000728 - 728 FIRST ST
Integrity NoLow 18981905Sanborn Maps1920 30006Z 003182012000_00001031 - 1031 MCKINSTRY ST
Integrity NoLow 01935Sanborn Maps YES6Z
OxbowHigh 1905Architectural Estimate 6Z 003241001000_0000743 - 743 FIRST ST
003241002000_0000731 - 731 FIRST ST
Integrity NoLow 01870Architectural Estimate 6Z
HRI Map Score 2OxbowMedium 01870Architectural Estimate18802 YES5S3 003241002000_0001731 - 731 FIRST ST 730 Water Street
003241003000_0000711 - 711 FIRST ST
OxbowHigh 19100 19003 YES6Z 003241003000_0001711 - 711 FIRST ST 718 Water Street OxbowMedium 19101870Architectural Estimate 3 6Z 003241004000_0000903 - 903 MCKINSTRY ST
OxbowMedium 19521930Sanborn Maps19303 YES6Z 003242001000_0000876 - 876 WATER ST
003243001000_0000645 - 645 FIRST ST
OxbowMedium 19051915Sanborn Maps19003 YES6Z
Integrity NoLow 01955Sanborn Maps YES6Z
OxbowHigh 20011890Sanborn Maps18953 YES6Z 003243003000_0000627 - 627 FIRST ST
003243002000_0000633 - 633 FIRST ST
OxbowHigh 19001885Sanborn Maps19003 YES6Z 003243004000_0000619 - 619 FIRST ST OxbowHigh 19301885Sanborn Maps18953 YES6Z 003243005000_0000611 - 611 FIRST ST
OxbowMedium 18901890Sanborn Maps19103 YES6Z 003243006000_0000605 - 605 FIRST ST
OxbowMedium 19001870Architectural Estimate1900 30006Z 003243007000_0000619 - 619 WATER ST620 Water Street
OxbowMedium 19001925Sanborn Maps19103 YES6Z 003243008000_0000 906 - 906 MCKINSTRY ST
HRI Map Score 2 Oxbow High 01880Architectural Estimate18852 YES5S3 003137003000_00001245 - 1245 MAIN ST
Sam Kee Laundry/Pfeiffer Building Landmark/NRNoHigh 18750 18751 YES 1S, 5S11978 SURVEY 003164005000_00001005 - 1005 COOMBS ST
Napa Valley Register Building Landmark/NRNoHigh 19050 19051 YES 1S, 5S11978 SURVEY 003166004000_00001130 - 1146 FIRST ST1014 Coombs Gordon Building Landmark/NRNoHigh 19281920Sanborn Maps19291 YES 1S, 5S11978 SURVEY 003167011000_00001026 - 1030 FIRST ST
First National Bank Landmark/NRNoHigh 19001905Sanborn Maps19151 YES 1S, 5S11978 SURVEY 003172003000_00001030 - 1030 MAIN ST
Napa Valley Opera House Landmark/NRNoHigh 18901879Date on Building18791 YES 1S, 5S11978 SURVEY 003192005000_00011775 - 1775 CLAY ST1750 First St Noyes Mansion/Wine Spectator Landmark/NRNoHigh 01904HRI 19042 YESYES1S, 5S11978 SURVEY 003208001000_00001351 - 1351 SECOND ST
U.S. Post Office Franklin Station Landmark/NRNoHigh 00 1933 1000 1S, 5S11978 SURVEY 003209004000_00001333 - 1333 THIRD ST
First Presbyterian Church Landmark/NRNoHigh 01874Date on Building18741 YESYES1S, 5S11978 SURVEY 003211002000_00001219 - 1219 FIRST ST
Goodman Library; Napa County Historical SocieLandmark/NRNoHigh 00 1901 1000 1S, 5S11978 SURVEY 003221012000_0000901 - 901 MAIN ST 900 Brown Street Bank of Napa; Wells Fargo Landmark/NRNoHigh 19241923HRI 19231 YES 1S, 5S11978 SURVEY 003222001000_0000840 - 844 BROWN ST Alexandria Hotel Landmark/NRNoMedium 01910Architectural Estimate YES 1S, 5S11978 SURVEY 003231001000_0000942 - 948 MAIN ST Winship Building Landmark/NRNoHigh 18901888Sanborn Maps18881 YES 1S, 5S11978 SURVEY 003231002000_0000967 - 975 FIRST ST Semorile Building Landmark/NRNoHigh 01888Date on Building18881 YES 1S, 5S11978 SURVEY 003231008000_0000902 - 912 MAIN ST
Oberon Building; Downtown Joe's LandmarkNoHigh 19330 5S11978 SURVEY 003262007000_0000625 - 625 RANDOLPH ST First United Methodist Church Landmark/NRNoHigh 01916HRI 19161 YES 3S, 5S11978 SURVEY 003277002000_0000500 - 550 MAIN ST Hatt Building (1884) Landmark/NRNoHigh 18840 1S, 5S11978 SURVEY 003277003000_0000530 - 530 MAIN ST Hatt Building (1886) Landmark/NRNoHigh 18901886Date on Building 1S, 5S11978 SURVEY 006133002000_0000920 - 930 THIRD ST Borreo Building LandmarkNoHigh 01877City Assessor18771 YES 5S1SOSCOL/EAST NAPA 003215001000_0000825 - 825 BROWN ST810 Coombs Napa County Courthouse National RegisterNoHigh 00 18781 1S1978 SURVEY 003264001000_0000590 - 590 RANDOLPH ST Robert P. Lamdin House National RegisterNoHigh 18901895HRI 18951 1D1978 SURVEY 003264002000_00001236 - 1236 DIVISION ST Lamdin Cottage National RegisterNoHigh 18991870HRI 18701 1D1978 SURVEY 003264003000_0000585 01920Sanborn Maps19103 1DFULLER/ABAJO 003264003000_0001585 01880Sanborn Maps 1DFULLER/ABAJO 003271006000_00001224 19711895HRI 18953 1DFULLER/ABAJO 003271007000_0000608
003133006000_00001227 - 1237 COOMBS ST
HRI Map Score 2NoHigh19101880Sanborn Maps189525S3 003133007000_00001219 - 1219 COOMBS ST1219A Coombs StHRI Map Score 2NoMedium18981880Architectural Estimate189525S3 003133008000_00001213 - 1213 COOMBS ST
HRI Map Score 2NoHigh19101870Architectural Estimate190025S3 003133009000_00001207 - 1207 COOMBS ST1210 Pearl StHRI Map Score 2NoHigh01895Sanborn Maps190025S3 003173009000_00001100 - 1100 WEST STCity of Napa Parks & Recreation BuildingHRI Map Score 2NoMedium01900HRI190025S3 003191002000_00001525 - 1527 POLK STChristian Science ChurchHRI Map Score 2NoHigh01915Sanborn Maps19052YES5S31978 SURVEY 003191003000_00001133 - 1133 SEMINARY ST
HRI Map Score 2NoHigh1915019002YES5S3 003193007000_00001755 - 1755 FIRST ST
Katcher House; Blackbird InnHRI Map Score 2NoHigh19601915Sanborn Maps191523B, 5B 003193008000_00001790 - 1792 SECOND ST
HRI Map Score 2NoHigh19001890HRI1890 20005S3 003193009000_0000952 - 952 JEFFERSON ST
HRI Map Score 2NoHigh19201890HRI18902YES5S3 003196001000_00001645 - 1645 FIRST ST
HRI Map Score 2NoHigh1905019002YES5S3 003196002000_00001635 - 1635 FIRST ST
HRI Map Score 2NoHigh190501900 20005S3 003196005000_00001607 - 1607 FIRST ST
HRI Map Score 2NoHigh190301910 20005S3 003197001000_00001461 - 1461 POLK ST
HRI Map Score 2NoHigh19001880HRI18802YES5S31978 SURVEY 003198001000_00001042 - 1042 SEMINARY ST
HRI Map Score 2NoHigh1905019002YES5S3 003198019000_00001580 - 1580 FIRST ST
HRI Map Score 2NoHigh1890018872YES5S3 003202001000_00001553 - 1553 SECOND ST
HRI Map Score 2NoHigh1900018952YES5S3 003203003000_00001501 - 1501 THIRD STUnion Service StationHRI Map Score 2NoHigh01935HRI1935 20006Z 003205004000_0000817 - 817 FRANKLIN STBickford HouseHRI Map Score 2NoHigh19101880HRI18802YES5S3 003206003000_0000715 - 715 FRANKLIN STThe Plunge; Community Thrift ShopHRI Map Score 2NoHigh01905HRI19052YES5S31978 SURVEY 003208004000_00001332 - 1364 THIRD STUptown TheaterHRI Map Score 2NoHigh19491935HRI193525S3 003209007000_0000700 - 700 FRANKLIN ST
HRI Map Score 2NoHigh18971895HRI18952YES5S3 003211003000_00001201 - 1209 FIRST ST931-937 Coombs StNative Sons of Golden West BldgHRI Map Score 2NoHigh19150191525S3 003251017000_00001742 - 1742 THIRD ST
HRI Map Score 2NoHigh19101890Sanborn Maps189025S3 003271005000_0000623 - 623 COOMBS STTreadway & Wigger Funeral ChapelHRI Map Score 2NoHigh19501920Sanborn Maps194525S3 003136002000_00001343 - 1343 MAIN ST IntegrityNoLow19150191536Z 003136003000_00011327 - 1327 MAIN ST1335 Main Street.IntegrityNoLow01895Sanborn Maps6Z 003147009000_00001236 - 1236 YAJOME ST IntegrityNoLow19001905Sanborn Maps6Z 003153008000_00001300 - 1338 PEARL STRossi BuildingIntegrityNoLow19351920Sanborn Maps193036Z 003153009000_00001436 - 1436 POLK STBlue Oak SchoolIntegrityNoLow1909Building Permit6Z 003164004000_00001015 - 1017 COOMBS ST1011-1017 CoombsIntegrityNoLow01920Sanborn Maps6Z 003164019000_00001232 - 1248 FIRST ST IntegrityNoLow19630 6Z 003167010000_00001006 - 1018 FIRST ST IntegrityNoLow19620 6Z 003194001000_00001721 - 1721 FIRST ST IntegrityNoLow01890Sanborn Maps6Z 003198025000_00001500 - 1500 FIRST ST IntegrityNoLow19630 6Z 003199013000_0000930 - 930 SEMINARY STNapa Fire Department 1IntegrityNoLow01965Aerial Photo6Z 003201002000_0000849 - 849 CHURCH ST1559 Second StChristian Advent Church; Valley Bible ChapelIntegrityNoLow01880HRI18802YES6Z 003205005000_00001406 - 1414 THIRD ST IntegrityNoMedium19101915HRI19153YES6Z 003205006000_00001420 - 1420 THIRD ST IntegrityNoMedium19600 6Z 003207003000_00001305 - 1307 FIRST ST IntegrityNoLow19510 6Z 003207007000_00001320 - 1370 SECOND ST IntegrityNoLow01960Aerial Photo6Z 003212002000_0000853 - 853 COOMBS STTravelodgeIntegrityNoLow19630 6Z 003212004000_00001234 - 1234 THIRD ST810 Randolph StIntegrityNoLow19200 6Z 003214001000_0000926 - 932 COOMBS ST1147-1149 First StreetIntegrityNoLow01945Sanborn Maps6Z 003221001000_00001025 - 1025 FIRST ST IntegrityNoLow01905Sanborn Maps6Z 003221002000_00001005 - 1005 FIRST ST943 Main Street; 1015 Main StreetIntegrityNoLow01905Sanborn Maps6Z 003222005000_0000829 - 829 MAIN ST IntegrityNoLow01880Sanborn Maps 00006Z 003222006000_0000823 - 825 MAIN ST IntegrityNoLow01880Sanborn Maps6Z 003222007000_0000815 - 815 MAIN ST IntegrityNoLow01880Sanborn Maps6Z 003222009000_0000807 - 807 MAIN ST IntegrityNoLow1890 6Z 003222012000_0000822 - 828 BROWN STFormer City Hall/Fire Engine HouseIntegrityNoLow01880Sanborn Maps6Z 003251020000_00001776 - 1780 THIRD ST IntegrityNoLow19401920Sanborn Maps 00006Z 003143007000_00011216 - 1246 MAIN ST1222-1246 Main StreetLazarus Apartments1961-1965NoHigh01963Aerial
Attached are the survey spreadsheets for the Downtown Napa Intensive-Level Survey, and DPR 523 forms as follows:
 57 Building, Structure and Object Records (DPR 523 B Forms)
 1 District Records (DPR 523 D Forms) for the potential Oxbow Historic District
 7 Update Forms (DPR 523 L Forms) for previously documented resources
The spreadsheet lists all properties that were documented during the Downtown Napa Historic Resources Survey. The Assessor’s Parcel Number (APN) and street address of each property are provided for identification purposes. Address(es), construction date, architectural style, HRI Map Score, and CHRSC are provided for each property. Notes about building name or history are included where applicable.
c_apn_key: Assessor’s Parcel Number (APN) c_full_address: Parcel address (as assigned by Napa County Assessor) add_bldg_address: Additional street address (as assigned by P&T via field reconnaissance) bldg_name_alt: Building name or other identifier use: Resource Attribute Code indicating use (i.e. HP2 = Single-family use) yrbuilt: Construction date (as assigned by Napa County Assessor) cor_yrbuilt: Corrected construction date (as assigned by P&T, based on various research sources) cor_yrbuilt_src: Research source for corrected construction date archt_style: Architectural style(s) HRI_rating: Current rating (Map Score 1, 2, or 3) assigned to each parcel chrsc: California Historic Resource Status Code (CHRSC) assigned by P&T as part of intensive-level survey district: Contributor to a historic district (if applicable) b-form: B form completed skip_reason: Reason property was not surveyed (if applicable), including age-ineligible, vacant, or previously documented
c_apn_key cor_yrbuilt HRI_ratingchrscNCPc_ext_dist b_formskip_reason
003133006000_00001227 - 1237 COOMBS ST 19101880Sanborn MapsVernacular 25S3
Previously Documented 003133007000_00001219 - 1219 COOMBS ST1219A Coombs St 18981880Architectural EstimateVernacular 25S3 Previously Documented 003133008000_00001213 - 1213 COOMBS ST 19101870Architectural EstimateVernacular 25S3 Previously Documented 003133009000_00001207 - 1207 COOMBS ST1210 Pearl St 01895Sanborn MapsVernacular 25S3 Previously Documented 003133011000_00001240 - 1240 PEARL ST
American Legion Hall 01961Building PermitModern 6Z x 003136002000_00001343 - 1343 MAIN ST 1915 0 Mission Revival 36Z 003136003000_00001327 - 1327 MAIN ST 01895Sanborn Maps20th Century Commercial 36Z x 003136003000_00011327 - 1327 MAIN ST 1335 Main Street. 01895Sanborn MapsNone/Altered 6Z 003137003000_00001245 - 1245 MAIN ST
Sam Kee Laundry/Pfeiffer Building 1875 0 Italianate 11S, 5S1 Previously Documented 003137004000_0000 00 Parking 003137005000_00001201 - 1201 MAIN ST
Napa Firefighter's Museum 01935Sanborn Maps20th Century Commercial 5S3 x 003137006000_0000 Pearl Street Pearl Street Bridge 01900Architectural EstimateVernacular 7N 003142001000_00001350 - 1350 MAIN ST
Shackford's 1936 0 Art Deco 36Z x 003142014000_00001326 - 1326 MAIN ST Mathis Furniture Co. 01920Sanborn MapsModern 6Z x 003143007000_00001216 - 1246 MAIN ST 00 Age-Ineligible 003143007000_00011216 - 1246 MAIN ST 1222-1246 Main Street Lazarus Apartments 01963Aerial Photo Modern 7N 003143009000_00001202 - 1214 MAIN ST 964-980 Pearl St
Lazarus-Grinsell Building 19361947Building Permit20th Century Commercial 35S3 x 003144009000_00001105 - 1105 WEST ST Napa Sanitation District Bldg 01970Aerial Photo Modern 3 Age-Ineligible 003147001000_0000845 - 845 CLINTON ST 19001905Sanborn MapsVernacular 36Z x 003147006000_00001214 - 1214 YAJOME ST 19041930Sanborn MapsVernacular 36Z x 003147007000_00001216 - 1216 YAJOME ST 19001905Sanborn MapsVernacular 36Z x 003147008000_00001234 - 1234 YAJOME ST 19101920Sanborn MapsVernacular 36Z x 003147009000_00001236 - 1236 YAJOME ST 19001905Sanborn MapsNone/Altered 6Z 003148002000_0000815 - 851 CAYMUS ST 19051885Sanborn MapsVernacular 36Z x 003153008000_00001300 - 1338 PEARL ST Rossi Building 19351920Sanborn MapsClassical Revival 36Z 003153009000_00001436 - 1436 POLK ST1201 Franklin St Blue Oak School 2002 0 6Z Age-Ineligible 003161001000_00001339 - 1339 PEARL ST 1992 0 Age-Ineligible 003161001000_00011339 - 1339 PEARL ST1128 Franklin Street 19921925Architectural EstimateColonial Revival 6Z x 003161005000_00001300 - 1300 CLAY ST
AT&T 01946Sanborn MapsModern 6Z x 003161006000_00001330 - 1330 CLAY ST 19051880Sanborn MapsVernacular 36Z x 003161007000_00001340 - 1340 CLAY ST
City of Napa Water Division Office 01880Sanborn MapsGreek Revival 6Z x 003164004000_00001015 - 1017 COOMBS ST1011-1017 Coombs 01920Sanborn MapsNone/Altered 6Z 003164005000_00001005 - 1005 COOMBS ST1202 First Street Napa Valley Register Building 1905 0 Classical Revival 11S, 5S1
Previously Documented 003164006000_00001210 - 1210 FIRST ST 01925Research or Deed20th Century Commercial 36Z x 003164019000_00001232 - 1248 FIRST ST 1963 0 None 6Z 003164021000_00001212 - 1222 FIRST ST
Merrill's Building 1929Architectural EstimateRenaissance Revival 3S 003164021000_00011025 - 1025 COOMBS ST
Merrill's Building Annex 1929 Mediterranean Revival 6Z 003166004000_00001130 - 1146 FIRST ST1014 Coombs Gordon Building 19281920Sanborn MapsSpanish Colonial Revival 11S, 5S1
Previously Documented 003167010000_00001006 - 1018 FIRST ST 1962 0 Modern 6Z 003167011000_00001026 - 1030 FIRST ST
First National Bank 19001905Sanborn MapsBeaux Arts, Classical Revival 11S, 5S1
Previously Documented 003167019000_0000 Main Street Main Street Bridge 01860Date on BuildingVernacular 7N 003172003000_00001030 - 1030 MAIN ST Napa Opera House 18901879Date on BuildingItalianate 11S, 5S1
Previously Documented 003172007000_00001038 - 1040 MAIN ST
Mathis-Flanagan Building 1907 0 Classical Revival 15S3, 7N1 003172010000_00001144 - 1146 MAIN ST 1142-1146 Main Street Bloom creative hair design and art gallery 1940 0 20th Century Commercial 6Z x 003172011000_00001122 - 1142 MAIN ST
Kyser/Williams Block 1890 0 19th Century Commercial 03S Previously Documented 003173009000_00001100 - 1100 WEST ST City of Napa Parks & Recreation Building 01900HRI Craftsman, Vernacular 25S3 Previously Documented 003173012000_0000825 - 947 PEARL ST 01970Architectural EstimateModern Age-Ineligible 003181001000_0000 00 Vacant 003181002000_0000 00 Vacant 003182007000_0000728 - 728 FIRST ST 18981905Sanborn MapsVernacular 36Z 003182009000_0000708 - 714 FIRST ST 1021 - 1027 McKinstry 1948 0 Utilitarian 6Z x 003182011000_00001045 - 1045 MCKINSTRY ST 0 3 Vacant 003182012000_00001031 - 1031 MCKINSTRY ST 1905Architectural EstimateVernacular 6Z 003182014000_0000FIRST ST Vacant 003191002000_00001525 - 1527 POLK ST
Christian Science Church 01915Sanborn MapsRomanesque Revival 25S3x Previously Documented 003191003000_00001133 - 1133 SEMINARY ST 1915 0 Shingle 25S3x Previously Documented 003191004000_00001600 - 1600 CLAY ST 1107-1115 Seminary Economic Development Dept. 1955 0 Modern 6Z x 003191007000_00001630 - 1634 CLAY ST 00 Parking
003191008000_00001620 - 1620 CLAY ST Safeway 01973Building Permit Age-Ineligible
003192002000_00001700 - 1700 FIRST ST Bank of America 19581957Building PermitModern 6Z x 003192005000_00001775 - 1775 CLAY ST
Noyes Mansion Carriage House 01902Architectural EstimateShingle 23B, 5BxFIRST-JEFFERSON Previously Documented 003192005000_00011775 - 1775 CLAY ST 1750 First St Noyes Mansion/Wine Spectator 01902HRI Classical Revival 1S, 3B, 5S1FIRST-JEFFERSON Previously Documented 003193004000_00001778 - 1778 SECOND ST
Golden State Lumber Inc 19501902Research or DeedVernacular 35S3x x 003193007000_00001755 - 1755 FIRST ST
Katcher House; Blackbird Inn 19601915Sanborn MapsCraftsman 23B, 5BFIRST-JEFFERSON Previously Documented 003193008000_00001790 - 1792 SECOND ST 19001890HRI Queen Anne 25S3 Previously Documented 003193009000_0000952 - 952 JEFFERSON ST 19201890HRI Queen Anne 25S3x Previously Documented 003193010000_00001737 - 1739 FIRST ST 00 Age-Ineligible 003194001000_00001721 - 1721 FIRST ST 01890Sanborn MapsNone/Altered 6Z
c_apn_key
003194004000_00001754 - 1754 SECOND ST 19660 Age-Ineligible 003194004000_0000975 - 975 WASHINGTON ST 19660 Age-Ineligible 003194005000_00001766 - 1776 SECOND ST1776 Second Street
01900Sanborn MapsQueen Anne35S3x 003194006000_00001711 - 1711 FIRST ST 20010 Age-Ineligible 003195001000_00001600 - 1600 FIRST STCity of Napa Community Services Building01958Building PermitModern6Zx 003196001000_00001645 - 1645 FIRST ST 19050Classical Revival25S3x Previously Documented 003196002000_00001635 - 1635 FIRST ST 19050Shingle25S3 Previously Documented 003196005000_00001607 - 1607 FIRST ST 19030Craftsman25S3 Previously Documented 003196006000_0000931 - 931 SEMINARY ST 00 Parking 003196010000_0000917 - 917 SEMINARY ST 19750 x Age-Ineligible 003197001000_00001461 - 1461 POLK ST 19001880HRIItalianate25S3x Previously Documented 003197002000_00001455 - 1455 POLK ST 00 x Vacant 003197003000_00001431 - 1431 POLK ST 00 Parking 003197004000_00001427 - 1427 POLK ST 00 x Parking 003197009000_00001408 - 1408 CLAY ST 0Sanborn MapsCraftsman xAge-Ineligible 003197010000_00001514 - 1514 CLAY ST 01905HRICraftsman36Z 003197011000_00001526 - 1526 CLAY ST 18981885Sanborn MapsQueen Anne36Zxx 003197012000_00001584 - 1584 CLAY ST 19660 x Age-Ineligible
003197013000_00001120 - 1120 SEMINARY ST 189603x Vacant
003197014000_00001400 - 1400 CLAY ST 19710 Age-Ineligible
003198001000_00001042 - 1042 SEMINARY ST 19050Vernacular25S3x Previously Documented 003198002000_00001519 - 1523 CLAY ST 00 Parking 003198003000_00001511 - 1513 CLAY ST 00 Parking 003198004000_00001503 - 1503 CLAY ST 00 Parking 003198016000_00001546 - 1546 FIRST ST 19760 Age-Ineligible 003198017000_00001556 - 1556 FIRST ST 19730 Age-Ineligible 003198018000_00001564 - 1564 FIRST ST 01915Sanborn MapsCraftsman35S3xx 003198019000_00001580 - 1580 FIRST ST 18900Queen Anne25S3x Previously Documented 003198020000_00001030 - 1030 SEMINARY ST 20050 x Age-Ineligible 003198021000_00001501 - 1501 CLAY ST 00 Parking 003198022000_00001401 - 1441 CLAY ST 00 Parking 003198025000_00001500 - 1500 FIRST ST 19630None6Z 003199013000_0000930 - 930 SEMINARY STNapa Fire Department 101965Aerial PhotoModern6Z 003199014000_00001539 - 1539 FIRST ST 00 Age-Ineligible 003199014000_0000955 - 955 SCHOOL ST 00 Age-Ineligible 003199014000_00001616 - 1616 SECOND ST 00 Age-Ineligible 003199014000_00011539 - 1539 FIRST ST955 School StreetCity Hall01951HRIModern6Zx 003201001000_00001562 - 1562 THIRD STNichols House01879HRIStick/Eastlake13Sx Previously Documented 003201002000_0000849 - 849 CHURCH ST1559 Second StreetSeventh Day Adventist Church; Valley Bible Ch 01880HRI Classical Revival, Gothic Revival, Ve26Zx Previously Documented 003201003000_0000835 - 835 CHURCH ST 1939 0 Craftsman 36Zx x 003201004000_0000827 - 827 CHURCH ST 19111905Sanborn MapsClassical Revival, Craftsman 35S3x x 003201006000_00001538 - 1538 THIRD ST 01940Research or DeedArt Moderne 37Nx x 003202001000_00001553 - 1553 SECOND ST 1900 0 Queen Anne, Vernacular 25S3x Previously Documented 003202002000_00001541 - 1545 SECOND ST 00 Age-Ineligible 003202003000_00001505 - 1527 SECOND ST 00 Parking 003202008000_00001516 - 1516 THIRD ST 01885HRI Queen Anne, Stick/Eastlake 13S Previously Documented 003202009000_00001526 - 1526 THIRD ST 1889 Folk Victorian 13S Previously Documented 003202010000_00001532 - 1532 THIRD ST 01905HRI Vernacular 36Zx x 003202011000_0000827 - 827 SCHOOL ST1505 Second Street First Bank 19641965Aerial Photo Modern 7N 003203001000_00001531 - 1531 THIRD ST Val's Liquors; Chateau Barber Shop 1963 0 20th Century Commercial 7N 003203002000_00001517 - 1521 THIRD ST 01954Research or Deed20th Century Commercial 6Z x 003203003000_00001501 - 1501 THIRD ST Union Service Station 01947Sanborn MapsArt Moderne 26Z Previously Documented 003203005000_00001512 - 1512 FOURTH ST701- 705 School Street 19001905Sanborn MapsCraftsman, None/Altered 6Zx x 003204001000_0000955 - 955 FRANKLIN ST 1957 0 Vacant 003204006000_00001400 - 1420 SECOND ST 01953Building PermitArt Moderne 6Z x 003204007000_00001424 - 1436 SECOND ST 01948Building PermitArt Moderne 6Z x 003204010000_00001401 - 1485 FIRST ST 2009 0 Age-Ineligible 003204010000_0000935 - 955 FRANKLIN ST 2009 0 Age-Ineligible 003204010000_0000950 - 960 SCHOOL ST 2009 0 Age-Ineligible
003205001000_0000842 - 842 SCHOOL ST 00 Parking 003205004000_0000817 - 817 FRANKLIN ST House 19101880HRI Italianate 25S3x Previously Documented 003205005000_00001406 - 1414 THIRD ST 19101915HRI Craftsman 36Zx 003205006000_00001420 - 1420 THIRD ST 1960 0 None 6Z
003205007000_0000800 - 828 SCHOOL ST1420 Third Street 1905 0 None/Altered, Folk Victorian 26Z x 003205007000_0001800 - 828 SCHOOL ST828 School Street 1905 0 None 6Z x 003205010000_00001405 - 1405 SECOND ST 00 Age-Ineligible
003205011000_00001407 - 1417 SECOND ST 1953 0 Modern 6Z x 003205012000_0000833 - 833 FRANKLIN ST Sterling House Italianate 13Sx Previously Documented
c_apn_key c_full_address cor_yrbuilt cor_yrbuilt_srcarcht_style HRI_ratingchrscNCPc_ext_dist b_formskip_reason 003205013000_0000830 - 832 SCHOOL ST 01905HRICraftsman35S3x 003205013000_0001830 - 832 SCHOOL ST 00 Age-Ineligible 003206001000_00001441 - 1441 THIRD STNation's Giant Hamburgers/Mel's Junior Drive I01964Building PermitModern07N 003206002000_00001411 - 1411 THIRD ST 00 Parking 003206003000_0000715 - 715 FRANKLIN STThe Plunge; Community Thrift Shop01905HRIMission Revival25S3x Previously Documented 003206004000_0000709 - 709 FRANKLIN ST 1880Stick/Eastlake13Sx Previously Documented 003206006000_00001426 - 1426 FOURTH ST 01930HRIMediterranean Revival35S3xx 003206007000_00001436 - 1436 FOURTH ST 00 Parking 003206008000_0000 00 Vacant 003207001000_00001331 - 1343 FIRST ST 00 Age-Ineligible 003207003000_00001305 - 1307 FIRST ST 19510Modern6Z 003207005000_0000923 - 929 RANDOLPH ST 00 Age-Ineligible 003207006000_00001310 - 1310 SECOND STNapa Savings and Loan01960Aerial PhotoModern5S3x 003207007000_00001320 - 1370 SECOND ST 01960Aerial PhotoModern6Z 003207008000_0000920 - 930 FRANKLIN ST 01949Building PermitGoogie35S3x 003207011000_00001321 - 1321 FIRST ST 19501964Building PermitModern6Zx 003207012000_00001311 - 1319 FIRST ST 20080 Age-Ineligible 003208001000_00001351 - 1351 SECOND STU.S. Post Office - Franklin Station01933HRIArt Deco11S, 5S1 Previously Documented 003208002000_0000819 - 819 RANDOLPH STZeller's Hardware Store01940Architectural Estimate20th Century Commercial6Zx 003208002000_0001819 - 819 RANDOLPH ST1322 Third Street 01929Sanborn MapsNone/Altered6Zx 003208003000_00001324 - 1330 THIRD ST 19401938Research or DeedArt Deco36Zx 003208004000_00001332 - 1364 THIRD STUptown Theater19491935HRIArt Deco25S3 Previously Documented 003209004000_00001333 - 1333 THIRD STFirst Presbyterian Church01874Date on BuildingGothic Revival11S, 5S1x Previously Documented 003209005000_00001333 Third Street/Randolph StreetPresbyterian Day School01960Aerial PhotoVernacular6Zx 003209006000_0000707 - 707 RANDOLPH ST 19680 x Age-Ineligible 003209007000_0000700 - 700 FRANKLIN ST 18971895HRIQueen Anne25S3x Previously Documented 003209008000_0000720 - 720 FRANKLIN ST 01940HRIArt Deco36Zxx 003209010000_0000726 - 726 FRANKLIN ST 00 x Age-Ineligible 003211001000_00001227 - 1245 FIRST STMigliavacca Building (1916)1916020th Century Commercial35S3x 003211002000_00001219 - 1219 FIRST STGoodman Library; Napa County Historical Socie 01901Date on BuildingRomanesque Revival 11S, 5S1 Previously Documented 003211003000_00001201 - 1209 FIRST ST931-937 Coombs St Native Sons of Golden West Bldg 1915 0 Renaissance Revival, 20th Century C 25S3 Previously Documented 003211006000_00001260 - 1260 SECOND ST 00 Vacant 003211009000_0000950 - 950 RANDOLPH ST 1962 0 Modern 7N 003211010000_0000901 - 901 COOMBS ST 00 Vacant 003212001000_00001251 - 1251 SECOND ST 00 Vacant 003212002000_0000853 - 853 COOMBS ST Travelodge 1963 0 None/Altered 6Z 003212004000_00001234 - 1234 THIRD ST810 Randolph St 1920 0 None/Altered 6Z 003213008000_0000720 - 720 RANDOLPH ST 0 0 3 Vacant 003213009000_0000730 - 730 RANDOLPH ST 0 0 3 Vacant 003213010000_00001216 - 1220 FOURTH ST 00 Vacant 003214001000_0000926 - 932 COOMBS ST1147-1149 First Street 01945Sanborn MapsNone/Altered 6Z 003214002000_00001141 - 1141 FIRST ST 19001920HRI 20th Century Commercial 5S3 x 003214011000_00001111 - 1129 FIRST ST 00 Age-Ineligible 003214012000_00001139 - 1139 FIRST ST 01920HRI 20th Century Commercial 35S3 x 003214013000_0000 00 Parking 003215001000_0000825 - 825 BROWN ST810 Coombs Napa County Courthouse 01878Date on BuildingItalianate 11S Previously Documented 003221001000_00001025 - 1025 FIRST ST 01905Sanborn MapsNone/Altered 6Z 003221002000_00001005 - 1005 FIRST ST943 Main Street; 1015 Main Street 01905Sanborn MapsNone/Altered 6Z 003221011000_0000915 - 915 MAIN ST 00 Parking 003221012000_0000901 - 901 MAIN ST 900 Brown Street Bank of Napa; Wells Fargo 19241923HRI Classical Revival 11S, 5S1
Previously Documented 003221012000_0001900 - 900 BROWN ST Bank of Napa/Wells Fargo Addition 19241934Architectural EstimateArt Deco 1S, 5S1 003221013000_0000928 - 928 BROWN ST 00 Parking 003222001000_0000840 - 844 BROWN ST Alexandria Hotel 01910Architectural EstimateMediterranean Revival 1S, 5S1 Previously Documented 003222005000_0000829 - 829 MAIN ST 01880Sanborn Maps19th Century Commercial 06Z 003222006000_0000823 - 825 MAIN ST 01880Sanborn Maps19th Century Commercial 6Z 003222007000_0000815 - 815 MAIN ST 01880Sanborn Maps19th Century Commercial 6Z 003222008000_0000813 - 813 MAIN ST
Fagiani Building 01908HRI Art Moderne, Renaissance Revival13S
Previously Documented 003222009000_0000807 - 807 MAIN ST 1890 19th Century Commercial 6Z 003222010000_00001010 - 1040 THIRD ST 01965Aerial Photo Modern 7N 003222011000_0000810 - 816 BROWN ST
Previously Documented 003222012000_0000822 - 828 BROWN ST
Center Building 01904Date on Building19th Century Commercial 13S
Former City Hall/Fire Engine House 01880Sanborn MapsNone/Altered 6Z 003231001000_0000942 - 948 MAIN ST
Winship Building 18901888Sanborn Maps19th Century Commercial 11S, 5S1
Previously Documented
003231002000_0000967 - 975 FIRST ST
Semorile Building 01888Date on Building19th Century Commercial 11S, 5S1
Previously Documented 003231002000_0001967 - 975 FIRST ST 967 First St 01951Building PermitUtilitarian 6Z x
003231003000_0000930 - 930 MAIN ST 00 Parking
003231005000_0000926 - 926 MAIN ST 00 Parking
003231006000_0000 00 Parking
003231008000_0000902 - 912 MAIN ST
Oberon Building; Downtown Joe's 1933 0 Art Deco 5S1
Previously Documented
c_apn_key HRI_ratingchrscNCPc_ext_dist b_formskip_reason 003241001000_0000743 - 743 FIRST ST 01935Sanborn MapsVernacular6Zx 003241002000_0000731 - 731 FIRST ST 01870Architectural EstimateVernacular25S3xOXBOW 003241002000_0001731 - 731 FIRST ST730 Water Street 01870Architectural EstimateNone/Altered6ZOXBOW 003241003000_0000711 - 711 FIRST ST 19100Craftsman36ZxOXBOW 003241003000_0001711 - 711 FIRST ST718 Water Street 19101870Architectural EstimateVernacular36ZOXBOW 003241004000_0000903 - 903 MCKINSTRY ST 19521930Sanborn MapsVernacular36ZxOXBOW 003242001000_0000876 - 876 WATER ST 19051915Sanborn MapsVernacular36ZxOXBOW 003242003000_0000933 - 933 WATER STCounty Corporation Yard01945Sanborn MapsUtilitarian6Z 003243001000_0000645 - 645 FIRST ST 01955Sanborn MapsNone6ZxOXBOW 003243002000_0000633 - 633 FIRST ST 20011890Sanborn MapsVernacular36ZxOXBOW 003243003000_0000627 - 627 FIRST ST 19001885Sanborn MapsVernacular36ZxOXBOW 003243004000_0000619 - 619 FIRST ST 19301885Sanborn MapsVernacular36ZxOXBOW 003243005000_0000611 - 611 FIRST ST 18901890Sanborn MapsVernacular36ZxOXBOW 003243006000_0000605 - 605 FIRST ST 19001870Architectural EstimateVernacular36ZOXBOW 003243007000_0000619 - 619 WATER ST620 Water Street 19001925Sanborn MapsVernacular36ZxOXBOW 003243008000_0000906 - 906 MCKINSTRY ST 01880Architectural EstimateItalianate25S3xOXBOW 003251003000_00001773 - 1773 SECOND ST 19550Ranch6Z 003251005000_00001763 - 1763 SECOND ST 19001905Sanborn MapsCraftsman35S3x 003251014000_0000821 - 821 SEMINARY ST 00 Parking 003251015000_0000811 - 811 SEMINARY ST 00 Parking 003251016000_00001728 - 1728 THIRD ST 00 Vacant 003251017000_00001742 - 1742 THIRD ST 19101890Sanborn MapsVernacular25S3 Previously Documented 003251019000_00001766 - 1766 THIRD ST 19220Craftsman35S3x 003251020000_00001776 - 1780 THIRD ST 19401920Sanborn MapsCraftsman06Z 003251021000_00001790 - 1790 THIRD ST 19101915Sanborn MapsVernacular6Zx 003251028000_0000880 - 880 JEFFERSON ST 19730 Age-Ineligible 003251029000_0000 00 Parking 003253007000_0000800 - 820 SEMINARY ST 00 Parking 003253008000_0000830 - 830 SEMINARY ST 00 Parking 003262006000_0000629 - 629 RANDOLPH STFranklin StBonner Educational Building01955Aerial PhotoModern6Z 003262006000_0001629 - 629 RANDOLPH ST1301 Fourth StCentennial Hall/Adams Hall01952Date on BuildingModern6Z 003262007000_0000625 - 625 RANDOLPH STFirst United Methodist Church01916HRIClassical Revival13S, 5S1 Previously Documented 003264001000_0000590 - 590 RANDOLPH STRobert P. Lamdin House18901895HRIQueen Anne11DNAPA ABAJO/FULLER PK Previously Documented 003264002000_00001236 - 1236 DIVISION STLamdin Cottage18991870HRIGreek Revival11DNAPA ABAJO/FULLER PK Previously Documented 003264003000_0000585 - 595 COOMBS ST595 Coombs St 01910HRIQueen Anne31DNAPA ABAJO/FULLER PK Previously Documented 003264003000_0001585 - 595 COOMBS ST587-591 Coombs St 01880Sanborn MapsGreek Revival, None/Altered1DNAPA ABAJO/FULLER PK Previously Documented 003264003000_0002585 - 595 COOMBS ST585 Coombs St 01940Sanborn MapsVernacular6ZNAPA ABAJO/FULLER PK 003271001000_0000642 - 642 RANDOLPH ST 19481880Sanborn MapsItalianate35S3x 003271002000_0000 00 Parking 003271003000_0000 00 Parking 003271005000_0000623 - 623 COOMBS STTreadway & Wigger Funeral Chapel19501920Sanborn MapsModern25S3 Previously Documented 003271006000_00001224 - 1224 FIFTH ST 19711895HRICraftsman31DNAPA ABAJO/FULLER PK Previously Documented 003271007000_0000608 - 608 RANDOLPH STE.R. Gifford House18880Queen Anne11DNAPA ABAJO/FULLER PK Previously Documented 003271008000_0000618 - 620 RANDOLPH ST 19001905HRICraftsman31DNAPA ABAJO/FULLER PK Previously Documented 003271009000_0000630 - 632 RANDOLPH ST 01940HRIMinimal Traditional36Zx 003275003000_00001071 - 1091 FIFTH STCity of Napa Police Station19431949Date on BuildingArt Moderne6Z Previously Documented 003275004000_0000700 - 700 BROWN ST 20000 Age-Ineligible 003277002000_0000500 - 550 MAIN STHatt Building (1884)1884019th Century Commercial1S, 5S1 Previously Documented 003277003000_0000530 - 530 MAIN STHatt Building (1886)18901886Date on Building19th Century Commercial1S, 5S1 Previously Documented 003277006000_0000540 - 540 MAIN STHatt Complex: Hay Warehouse, Napa General 19601959Date on Building20th Century Commercial6Z
Previously Documented 003277006000_0001540 - 540 MAIN STHatt Complex: Wharf Shed; Angele Restaurant19601893Date on BuildingNone/Altered6Z Previously Documented 003277008000_0000MAIN ST951 5th StreetHatt Complex: Annex #11890Sanborn MapsUtilitarian06Z
Previously Documented 003277008000_0001MAIN STHatt Complex: Napa Mill Silo1944Date on BuildingUtilitarian6Z Previously Documented 003277009000_0000MAIN FLD 00 Parking
003300001000_0000821 - 821 COOMBS ST 19101915HRI20th Century Commercial35S3x 003300002000_0000830 - 830 RANDOLPH STU.S. Post Office19101930Architectural EstimateArt Deco6Zx 003300005000_0000811 - 811 COOMBS ST 19081905Sanborn Maps20th Century Commercial6Zx 003300007000_0000801 - 801 COOMBS ST 1920020th Century Commercial6Zx 006133002000_0000920 - 930 THIRD STBorreo Building01877City Assessor19th Century Commercial15S1
Previously Documented
Page 1 of 3
B1. Historic name: None
B2. Common name: None
B3. Original Use: Residential
*B5. Architectural Style: Simple Bungalow
*NRHP Status Code 6Z
*Resource Name or # 851 Caymus Street (APN: 003148002000)
B4. Present use: Residential
*B6. Construction History: (Construction date, alterations, and date of alterations)
Circa 1885: Constructed. 1951: Electrical service change. 1952: Add foundation and window, repair bathroom, remove partition. 1999: Replace two windows in living room.
*B7. Moved? No Yes Unknown Date: Original Location:
*B8. Related Features: None
B9a. Architect: Unknown b. Builder: Unknown
*B10. Significance: Theme Downtown residential development
 
    Area: Napa, California Period of Significance ca. 1885
Property Type Residential Applicable Criteria N/A (Discuss importance in terms of historical or architectural context as defined by theme, period, and geographic scope. Also address integrity)
The house at 851 Caymus Street was constructed circa 1885. The earliest known owner of the property was Elizabeth Buttner, who owned it prior to 1943. According to the 1910 Census, Buttner lived in San Francisco’s Mission District with her sister Hattie and her brother-in-law Ernest W. Holley, a carpenter who built houses, and their three children, Wanda, Raymond, and Ernest A. Both Hattie and Buttner were born in Germany and came to the United States in 1876. The 1920 Census shows Buttner still living with Hattie, Ernest W., and Ernest A. Holley in San Francisco’s Cow Hollow neighborhood. Buttner was a dressmaker and owned her own shop. 851 Caymus was likely an investment property for Buttner. City Directories show that Paul & Theresa Bruckner, a farmer, occupied the property in 1929; Joseph Santiago, a laborer, lived at 851 Caymus in 1935; and Joseph P Doughty occupied the residence in 1942. In 1943, Buttner sold the property to her nephew, Ernest A Holley and his wife Alice. Holley bought several other adjoining lots in the block around the same time. Four months later Holley sold the property to Mary and Fred Oliveres, who was a rigger’s helper at Mare Island. In 1959 Robert Oliveres, Fred’s father, owned the property, and he sold it to Marie Hampton. In 1960, Hampton sold the property back to Fred and Mary Oliveres. They owned and resided in the residence until 1974, when Mary sold it to Vincent and Charrie Ferriole. It appears that Ferriole did not live in the property. He rented it to Rebecca Foley, a student, in 1975 and Kristina Madrigal in 1986. The building is still in use as a single-family residence.
Page 2 of 3
*Recorded by Page & Turnbull, Inc.
Trinomial
Resource Name or # (Assigned by recorder) 851 Caymus Street
*Date 9/3/2010 (rev. 2/22/2011) Continuation  Update
851 Caymus Street shares a similar history with other resources in the St. John’s neighborhood to the north of Downtown Napa, and was associated with the development of the area as “Spanish Town.” Spanish Town was located in the northeast portion of downtown, between Napa Creek, West Street, Stuart Street (now Clinton Street), and Edmondson Street (now Yajome Street). Some sources extend Spanish Town as far west as Brown Street, as far north as Vallejo Street, and as far east as the Southern Pacific Railroad right-of-way (now Soscol Avenue). Napa’s Spanish Town was a notorious area, with a number of murders recorded during the Victorian era, and a “red light district” in the early twentieth century. In many California towns, the term “Spanish Town” was used to refer to the Latin Quarter, or areas where Spanish and/or Italian immigrants congregated. It is likely that in Napa, the name had similar derivations. As the Mexican ranchos were sold off to American developers, many of the ranchos’ Spanish-speaking laborers moved into Cornwall’s Addition because of its proximity to the industrial uses along Soscol Avenue. In addition to Mexican and Spanish residents, many working-class Italian immigrants settled in or near Spanish Town. St. John’s Catholic Church at Main and Caymus was a focal point of Napa’s Italian community, and was a catalyst for ethnically diverse working-class residential development in the surrounding blocks. Architecture in Spanish Town was typical of workingclass residential development throughout the city, and there do not appear to be any notable design trends exclusive to this area. By the 1930s, many of the neighborhood’s original residents had moved away, and Spanish Town was no longer the close-knit community it had once been.
NRHP/CRHR Criterion A/1/a
Constructed circa 1885, the house at 851 Caymus Street does not appear to be significant for association with events important to the broad patterns of history. The building was located in Napa’s “Spanish Town,” a historically ethnically diverse working-class Napa neighborhood filled with small wood-framed cottages. However, mere association with historic trends is not enough, in and of itself, to qualify under this criterion: the property’s specific association must be considered important as well. While 851 Caymus Street reflects the general growth and development of the area and has ties to the Italian-American community in Spanish Town and St. John’s Addition, it does not have sufficient or specific associations with these trends to set it apart as significant. Therefore, 851 Caymus Street does not appear to be eligible under Criterion A/1/a. The “Spanish Town” theme would be better represented under this criterion as a historic district, but there does not appear to be a high enough concentration of extant historic resources associated with this theme to qualify as such.
The house at 851 Caymus Street does not appear to be eligible for Criterion B/2/b for association with the lives of persons significant to the history of Napa. For much of the building's history, it was a single family residence occupied or owned by various common working-class families, but there is no indication that any of the occupants made significant contributions or were otherwise important to Napa's history. Many of the tenants were of Italian descent, but again, none appeared to have played a prominent role within Napa’s Italian-American community or the development of Napa’s “Spanish Town.” Therefore, the property does not have significance under Criterion B/2/b.
The house at 851 Caymus Street exhibits simple, vernacular bungalow styling. It is a good example of a modestly-sized worker’s cottage, and although it has high physical integrity, it is not an individually outstanding example of a type, period, style, or method of construction. Additionally, there were no architecture or design trends exclusive to Spanish Town, and therefore 851 Caymus Street does not represent a type or method of construction at a neighborhood level. Research did not reveal the architect or builder of the house, and ultimately, 851 Caymus Street lacks sufficient architectural distinction to qualify under Criterion C/3/c, d. Although 851 Caymus Street is one of few remaining residences in Napa’s former Spanish Town, it does not appear to possess sufficient distinguishing characteristics to qualify under Napa HRI Landmark Property Criterion e.
While a simple, vernacular cottage constructed for lower-income residents is an important historic property type in Napa, this typology is usually best able to convey its architectural significance through collections of resources, rather than as individual properties. For example, East Napa, St. John’s, and Spencer’s Addition all have high concentrations of working-class cottages similar to 851 Caymus Street, and are better able to represent this type and period of construction. The historic surroundings of 851 Caymus Street are not intact, and therefore it does not appear to contribute to any potential historic district of similar buildings.
Archival research provided no indication that the building has the potential to yield information important to the prehistory or history of Napa, California, or the nation. Therefore, it does not appear to be eligible for listing under Criterion D/4.
Trinomial
Resource Name or # (Assigned by recorder) 851 Caymus Street Recorded by Page & Turnbull, Inc. 9/3/2010 (rev. 2/22/2011) Continuation
Page 3 of 3
The house at 851 Caymus Street retains its original use as a residence. Therefore, its integrity of association with residential development themes is strong. The building has never been moved and, so, has strong integrity of location. When constructed, the building was located within an early residential neighborhood. Yajome Street was realigned sometime after 1949 and Soscol Avenue was extended in the 1980s, and many of the historic residences surrounding 851 Caymus Street were demolished to make way for these new streets. Combined with the nearby construction of multiple-family apartments, the building’s surroundings have changed, and therefore the property lacks integrity of setting. The building has been minimally altered, therefore its integrity of design, materials and workmanship is strong. Integrity of feeling is supported by the fact that the property is still recognizable as a wood-framed worker’s cottage. Overall, 851 Caymus Street retains historic integrity.
Despite fairly strong integrity, 851 Caymus Street does not appear eligible for listing in the national, state, or local registers under any criteria, and has therefore been assigned a California Historical Resource Status Code of 6Z (ineligible for National, California or local designation through survey evaluation).
 
    Coodley, Lauren and Paula Amen Schmitt. Napa: The Transformation of an American Town. San Francisco, CA: Arcadia Publishing, 2007.
Kilgallin, Anthony. Napa: An Architectural Walking Tour. San Francisco, CA: Arcadia Publishing, 2001. Napa city directories.
The Napa Valley Museum and Lin Weber. Napa. San Francisco, CA: Arcadia Publishing, 2004. Sanborn Fire Insurance maps (1886, 1891, 1901, 1910, 1924, 1949)
Weber, Lin. Old Napa Valley: The History to 1900. St. Helena, CA: Wine Ventures Publishing, 1998. Weber, Lin. Roots of the Present: Napa Valley 1900 to 1950. St. Helena, CA: Wine Ventures Publishing, 2001.
Page 1 of
B1. Historic name: None
B2. Common name: None
B3. Original Use: Residential
*B5. Architectural Style: Classical Revival
*NRHP Status Code 5S3
*Resource Name or # 827 Church Street (APN: 003201004000)
B4. Present use: Residential
*B6. Construction History: (Construction date, alterations, and date of alterations)
Circa 1905: Constructed. 1975: Electrical work. 1980: Plumbing. 1995: Reroofing. 2002: Electrical work.
*B7. Moved? No Yes Unknown Date: Original Location:
*B8. Related Features: None.
B9a. Architect: Unknown b. Builder: Unknown
*B10. Significance: Theme Downtown residential development
 
    Area: Napa, California Period of Significance ca. 1905 Property Type Residential Applicable Criteria Napa HRI Landmark Criterion c (Discuss importance in terms of historical or architectural context as defined by theme, period, and geographic scope. Also address integrity)
According to Assessor's data, the house at 827 Church Street was constructed around 1905. The earliest known owners of the property were John T. and Jane A. Corlett, who owned it as early as 1921. Census records indicate that they resided at another property on Church Street, however, and may have rented out the subject property. John T. Corlett was likely the brother of William H. Corlett, one of Napa's preeminent architects. The Corlett family also owned and operated a planing mill, which was one of Napa's most successful early businesses. According to census records, John T. Corlett worked in the planing mill.
In 1922, the Corletts sold the house to their daughter and son-in-law, Jennie E. and Charles L. Meyers. Census records suggest that the Meyers did not live in Napa and city directories show that in 1929, William H. and Gertrude Remington lived at the subject property, suggesting that, like the Corletts, the Meyers rented the property and did not reside there themselves. William Remington was a traveling salesman dealing in groceries and had a daughter and two sons who also lived at 827 Church Street.
In 1931, the Meyers sold the property to George and Mary Shane, who also appear to have rented the house out. George Shane was a mail carrier for the post office. The Shanes status as absentee landlords is based on the fact that in 1935, 827 Church Street was occupied by Joseph H. Vieusseux, an Elks Club steward, and his wife Gladys. In 1940, George Shane died and the following year Mary sold the property to Wilfred Hancock. In 1942, Fred P. Desnoyer, a crane operator, and his wife Flossie, resided at the house, and by 1949, Wilfred and Nora Hancock had moved into the house they owned. Wilfred Hancock was employed as an electrician. (continued) Map
CONTINUATION SHEET 2 of 3 Name or # (Assigned by recorder) 827 Church Street Recorded Page & Turnbull, Inc. 12/3/2010
In 1951, the Hancocks sold the property to Charles F. and Alice M. Knipe, who resided in the house. Charles Knipe was a salesman and later an assistant to the pastor at the First Presbyterian Church. Little information is available regarding owners and tenants of the property in the late twentieth century. By 2002, the house had been purchased by its current owners, Joseph T. and Nora Newman.
NRHP Criterion A/CRHR Criterion 1/Napa HRI Landmark Criterion a (Events, Patterns and Trends)
Constructed circa 1905, the house at 827 Church Street does not appear to be significant for association with events important to the broad patterns of history. The building is located in downtown Napa, which has always been primarily commercial in nature, although the commercial core is surrounded by residential uses. This residential building is not associated with the growth of downtown as a commercial center. It plays a part in the general growth and development of the area, but it does not have sufficient or specific associations with these trends to set it apart as significant. Therefore, 827 Church Street does not appear to qualify for listing in the National or California registers or for local listing under Criterion A/1/a.
NRHP Criterion B/CRHR Criterion 2/Napa HRI Landmark Criterion b (Person)
The house at 827 Church Street does not appear to be significant for association with the lives of persons significant to our past. Throughout the building's history, it was a single family residence owned and occupied by various working and middle class families, but there is no indication that any of their members made significant contributions or were otherwise important to Napa's history. The most prominent of the owners was John T. Corlett, who was a brother of the renowned architect William H. Corlett and a partner in the Corlett family's planing mill. However, his mere relation to William Corlett does not make him a significant figure, and his involvement with the successful family business is not enough to make the house eligible for listing for its associations with him, especially since he does not appear to have resided at the property. Based on this, the property does not appear to qualify for listing in the National or California registers or for local listing under Criterion B/2/b.
NRHP Criterion C/CRHR Criterion 3/Napa HRI Landmark Criteria c,d,e (Design/Construction, Architects) 827 Church Street appears to be significant under this criterion for its architecture. The house exhibits Classical Revival styling, with Classical columns, overall form, wrap-around porch and dormer window. It is a good example of a modest or middle-class cottage and has high physical integrity and contributes to the context of early twentieth century residential architecture in Napa. There are many other bungalows of a similar era and style in the neighborhood and city, and 827 Church Street can be considered a good example within the category. The building has the architectural merit necessary to qualify for local listing under Criterion c. Research did not reveal the architect or builder of the building such that would warrant consideration of the building as work of a master under local Criterion d, and the building is not a rare example and therefore not eligible under local Criterion e. The significance of the property does not rise to the level of significance required for listing in the National Register under Criterion C or the California Register under Criterion 3.
NRHP Criterion D/CRHR Criterion 4 Archival research provided no indication that the building has the potential to yield information important to the prehistory or history of Napa, California, or the nation. Therefore, it does not appear to be eligible for listing in the National or California registers under Criterion D/4.
The house at 827 Church Street retains its original use as a residence. Therefore, it retains integrity of association. The building has never been moved and retains integrity of location. Located on the edge of the primarily commercial downtown core, the building's surroundings have generally remained the same over the years, including both commercial and residential properties in the vicinity, and so the property retains integrity of setting. The building has not been drastically altered and related functionality of the building has been retained, so integrity of design, materials and workmanship is retained. Integrity of feeling is supported by the fact that the property is still recognizable as an early twentieth-century residence. Overall, the building retains sufficient integrity to convey its significance under local register criterion c.
The house at 827 Church Street appears to be eligible for listing in the local register as a Landmark Property under Napa HRI Landmark Criterion c. The building retains sufficient historic integrity to convey its significance under this criterion. The building was therefore assigned a California Historical Resource Status Code of 5S3 (appears to be individually eligible for local listing or designation through survey evaluation).
Page 3 of 3 Resource Name or # (Assigned by recorder) 827 Church Street Recorded by Page & Turnbull, Inc. 12/3/2010 Continuation
*B12. References (cont.):
Ancestry.com: Federal Census records, WWI and WWII draft cards, Public Records Indexes, etc.
City of Napa Assessor’s Office: deed records.
City of Napa Building Division: building permits.
Coodley, Lauren and Paula Amen Schmitt. Napa: The Transformation of an American Town. San Francisco, CA: Arcadia Publishing, 2007.
Kilgallin, Anthony. Napa: An Architectural Walking Tour. San Francisco, CA: Arcadia Publishing, 2001. Napa city directories.
The Napa Valley Museum and Lin Weber. Napa. San Francisco, CA: Arcadia Publishing, 2004. Sanborn Fire Insurance maps (1886, 1891, 1901, 1910, 1924, 1949)
Weber, Lin. Old Napa Valley: The History to 1900. St. Helena, CA: Wine Ventures Publishing, 1998. Weber, Lin. Roots of the Present: Napa Valley 1900 to 1950. St. Helena, CA: Wine Ventures Publishing, 2001.
Photographs:
Primary façade of 827 Church Street, view west from Church Street. (Page & Turnbull 2010)
Page 1 of 2
B1. Historic name: None
B2. Common name: None
B3. Original Use: Residential
 
    *B5. Architectural Style: Simple Bungalow
*NRHP Status Code 6Z
*Resource Name or # 835 Church Street APN: 003201003000
B4. Present use: Residential
*B6. Construction History: (Construction date, alterations, and date of alterations)
Circa 1939: Constructed. 1975: Electrical. 1990: Heating
*B7. Moved? No Yes Unknown Date: Original Location:
*B8. Related Features: None
B9a. Architect: Unknown b. Builder: Unknown
*B10. Significance: Theme Downtown residential development Area: Napa, California Period of Significance 1939 Property Type Residential Applicable Criteria N/A (Discuss importance in terms of historical or architectural context as defined by theme, period, and geographic scope. Also address integrity)
The house at 835 Church Street was constructed circa 1939 and possibly as early as 1929. According to Deed Records, the South Napa Realty Co. sold the property to Percy S. and Lizzie King in 1929. Percy was a lawyer and he and Lizzie had five children. It is possible that they constructed 835 Church Street. The building does not appear on the 1924 Sanborn Fire Insurance map and is shown on the 1949 Sanborn Fire Insurance map. In 1936 King sold the property to Lowell L. Trubody. Trubody sold the house to George Shane in 1937. George Shane sold the property to Cameron and Laurea H. Kimball in 1939. Kimball was barber. Laurea inherited 835 Church Street in 1955 after Cameron died. According to City Directories, Laurea appears to have occupied the property until it was sold to Charles and Alice Knipe in 1979. After Charles died in 1985, Alice owned the property.
(continued)
B11. Additional Resource Attributes: (List attributes and codes) Error! Not a valid bookmark self-reference.
*B12. References: Ancestry.com: Federal Census records, Public Records Indexes, etc.
City of Napa Assessor’s Office: deed records. City of Napa Building Division: building permits.
(continued)
B13. Remarks: None
*B14. Evaluator: Page & Turnbull, Inc. (SF)
*Date of Evaluation: 9/3/2010 (Revised 12/3/10)
(This space reserved for official comments.)
Sketch Map
NRHP/CRHR Criterion A/1/a
Constructed circa 1939 (possibly earlier in 1929), the house at 835 Church Street does not appear to be significant for association with events important to the broad patterns of history. The building is located in downtown Napa, which has always been primarily commercial in nature, although the commercial core is surrounded by residential neighborhoods. This residential building is not associated with the growth of downtown as a commercial center, and was one of the last buildings constructed on this block. It plays a part in the general growth and development of the area, but it does not have sufficient or specific associations with these trends to set it apart as significant. Therefore, 835 Church Street does not appear to be eligible under NRHP/CRHR Criterion A/1/a.
NRHP/CRHR Criterion B/2/b
The house at 835 Church Street does not appear to be eligible for Criterion B/2/b for association with the lives of persons significant to the history of Napa. For much of the building's history, it was a single family residence occupied or owned by various working-class families, but there is no indication that any of the occupants made significant contributions or were otherwise important to Napa's history. Therefore, the property does not have significance under Criterion B/2/b.
NRHP/CRHR Criterion C/3/c, d, e
The house at 835 Church Street exhibits simple, vernacular bungalow styling. It is a good example of a modestly-sized worker’s cottage, and although it has high physical integrity, it is not an individually outstanding example of a type, period, style, or method of construction, and other examples exist throughout the city. Research did not reveal the architect or builder of the house, and ultimately, it lacks sufficient architectural distinction to qualify under Criterion C/3/c, d, e, nor does it appear to contribute to any potential historic district of similar buildings.
NRHP/CRHR Criterion D/4
Archival research provided no indication that the building has the potential to yield information important to the prehistory or history of Napa, California, or the nation. Therefore, it does not appear to be eligible for listing under Criterion D/4.
The house at 835 Church Street retains its original use as a residence. Therefore, its integrity of association is strong. The building has never been moved and, so, has strong integrity of location. Located on the edge of the primarily commercial downtown core, the building's surroundings have generally remained the same over the years, including both commercial and residential properties in the vicinity, and so the property retains integrity of setting. The building has been minimally altered; therefore its integrity of design, materials and workmanship is strong. Integrity of feeling is supported by the fact that the property is still recognizable as a twentieth-century residence. Overall, 835 Church Street retains historic integrity.
835 Church Street does not appear eligible for listing in the national, state, or local registers under any criteria, and has therefore been assigned a California Historical Resource Status Code of 6Z (ineligible for National, California or local designation through survey evaluation).
Coodley, Lauren and Paula Amen Schmitt. Napa: The Transformation of an American Town. San Francisco, CA: Arcadia Publishing, 2007.
Kilgallin, Anthony. Napa: An Architectural Walking Tour. San Francisco, CA: Arcadia Publishing, 2001. Napa city directories.
The Napa Valley Museum and Lin Weber. Napa. San Francisco, CA: Arcadia Publishing, 2004.
Sanborn Fire Insurance maps (1886, 1891, 1901, 1910, 1924, 1949)
Weber, Lin. Old Napa Valley: The History to 1900. St. Helena, CA: Wine Ventures Publishing, 1998.
Weber, Lin. Roots of the Present: Napa Valley 1900 to 1950. St. Helena, CA: Wine Ventures Publishing, 2001.
Page 1 of 3
B1. Historic name: Pacific Telephone & Telegraph Company Building
B2. Common name: AT&T Building
B3. Original Use: Commercial B4. Present use: Commercial
*B5. Architectural Style: Modern
*NRHP Status Code 6Z
*Resource Name or # 1300 Clay Street____ (APN 003161005000)
 
    *B6. Construction History: (Construction date, alterations, and date of alterations)
1946: building constructed as office. 1955: unspecified alterations. Circa 1956: addition constructed to east of original building. 1957: office alterations. 1962: addition completed by Bickford Construction to the north of circa 1956 addition, plumbing of addition. 1963: partition wall inserted. 1967: addition constructed north of 1962 addition. 1967: plumbing and electrical work on main building and addition. 1966: electrical work and interior remodel. 1969: electrical work and office remodel. 1970: roof replaced. 1971: addition constructed north of 1967 addition, electrical work and interior changes to cafeteria. 1972: heating and electrical work. 1974: interior alterations, interior framing, and electrical work by Pacific Telephone & Telegraph Company. 1975: temporary storage structure installed at rear of building. 1980: roof replaced, and panel board installed by AT&T. 1980: remodel and addition of retaining wall. 1983: commercial remodel and roof replaced. 1986: unspecified remodel. 1989: interior remodel. 2003: façade replaced, interior stucco work. 2004: façade and roof replaced. 2006: addition of AT&T signage.
*B7. Moved? No Yes Unknown Date: Original Location:
*B8. Related Features: Parking lot, driveway
B9a. Architect: Unknown
b. Builder: Unknown
*B10. Significance: Theme Downtown commercial development Area: Napa, California
Period of Significance ca. 1946-1971 Property Type Commercial Applicable Criteria N/A (Discuss importance in terms of historical or architectural context as defined by theme, period, and geographic scope. Also address integrity)
The commercial building at 1300 Clay Street was constructed in 1946 on a lot that previously consisted of two parcels, each occupied by a dwelling. The two dwellings (one 1-story dwelling at 1121 Randolph Street and one 1-1/2 story dwelling at 1318 Clay Street) were removed for the construction of the subject building. The 1949 Sanborn Fire Insurance map shows two dwellings to the west of the subject building addressed as 1330 and 1340 Clay Street. To the north of the subject parcel were was a 1-1/2 story dwelling at 1135 Randolph Street and a 2-story flats building at 1137-1145 Randolph Street at the corner of Pearl and Randolph Streets. The northwest corner of the subject block contained a 2-story apartment building at 1331 Pearl Street and a 1-story dwelling at the corner of Pearl and Franklin Streets addressed as 1343 Pearl Street/1148 Franklin Street. A 1-story dwelling was located just south of this corner and addressed as 1128 Franklin Street. Map
*B12.
B13.
*B14.
*Date
Deed records and Napa City Directories indicate that the subject property was owned by the Pacific Telephone & Telegraph Company from the time of its construction in 1946 until 1975. In the 1986 city directory, the property is listed as the Pacific Bell Company Plant Service Center. The building is currently operated as the AT&T Building and current owner is still owned by the Pacific Telephone & Telegraph Company.
NRHP Criterion A/CRHR Criterion 1/Napa HRI Landmark Criterion a (Events, Patterns and Trends)
Constructed in 1946, the AT&T Building at 1300 Clay Street does not appear to be significant for association with events or trends important to the history of Napa. The building is located in a former residential neighborhood that consisted largely of small, working-class houses built during the early twentieth century. This commercial building was constructed well after the initial development of the area and supplanted older houses located on the property. It does not have associations with any major development trends and does not correspond to any major commercial booms that were specific to the area. Therefore, the property does not appear to be eligible for listing under Criterion A/1/a.
NRHP Criterion B/CRHR Criterion 2/Napa HRI Landmark Criterion b (Person)
The AT&T Building at 1300 Clay Street does not appear to be significant under Criterion B/2/b for association with the lives of persons significant to the history of Napa. Throughout the building's early history, the property was owned and operated by the Pacific Telephone & Telegraph Company. No individual names were associated with the building in archival records. The large company owned many properties in the West and no persons important to the history of Napa have been associated with the subject property such that would indicate significance to the building under Criterion B/2/b. Therefore, the property does not appear to be eligible for listing under Criterion B/2/b.
NRHP Criterion C/CRHR Criterion 3/Napa HRI Landmark Criteria c,d,e (Design/Construction, Architects)
This AT&T Building exhibits mid-century architectural styling, but is not a sufficiently remarkable example of a type, method, or style of architecture. The building has undergone four additions and significant alterations over time, including replacement of the façade. Additionally, research did not reveal the architect or builder of the building. Ultimately, it does not have the high architectural merit or association with a master architect necessary to be eligible for listing under Criterion C/3/c,d,e.
Archival research provided no indication that the building has the potential to yield information important to the prehistory or history of Napa, California, or the nation. Therefore, it does not appear to be eligible for listing under Criterion D/4.
The building at 1300 Clay Street retains its original use as a commercial property operated by its original owner/tenant—the Pacific Telephone & Telegraph Company. Therefore, the building retains integrity of association. The building has never been moved and, so, retains integrity of location. When constructed, the building was located within a mixed commercial/residential neighborhood on the western edge of Napa’s downtown district. Today, this area is characterized by largely commercial uses, and many of the residential properties that characterized the neighborhood in the early twentieth century have been demolished. Due to these changes in the surrounding neighborhood, the building does not retain integrity of setting. The building has undergone significant alterations, including four additions and interior and exterior remodeling, and therefore the building does not retain integrity of design, materials, workmanship or feeling. While the building is still recognizable as a mid-century commercial building in a mixed-use area, it does not retain sufficient historic integrity overall to qualify for listing in under any criteria.
Due to lack of significance and integrity, 1300 Clay Street does not appear eligible for listing in the national, state, or local registers under any criteria, and has therefore been assigned a California Historical Resource Status Code of 6Z (ineligible for National, California or local designation through survey evaluation).
Ancestry.com: Federal Census records, WWI and WWII draft cards, Public Records Indexes, etc.
City of Napa Assessor’s Office: deed records.
City of Napa Building Division: building permits.
Coodley, Lauren and Paula Amen Schmitt. Napa: The Transformation of an American Town. San Francisco, CA: Arcadia Publishing, 2007.
Kilgallin, Anthony. Napa: An Architectural Walking Tour. San Francisco, CA: Arcadia Publishing, 2001. Napa city directories.
The Napa Valley Museum and Lin Weber. Napa. San Francisco, CA: Arcadia Publishing, 2004. Sanborn Fire Insurance maps (1886, 1891, 1901, 1910, 1924, 1949)
Weber, Lin. Old Napa Valley: The History to 1900. St. Helena, CA: Wine Ventures Publishing, 1998.
Weber, Lin. Roots of the Present: Napa Valley 1900 to 1950. St. Helena, CA: Wine Ventures Publishing, 2001.
Primary façade of 1300 Clay Street, view southwest from Clay Street. (Page & Turnbull 2010)
 
    Page 1
B1. Historic name: None
B2. Common name: None
B3. Original Use: Residential
*NRHP Status Code 6Z
*Resource Name or # 1330 Clay Street (APN: 003161006000)
 
    B4. Present use: Residential
*B5. Architectural Style: Early twentieth century vernacular
*B6. Construction History: (Construction date, alterations, and date of alterations)
Circa 1880: Constructed. Circa 1891: Rear porch added. Circa 1910: Front porch partially enclosed, rear porch replaced with rear addition. Circa 1924: Addition along length of west facade. Circa 1949: Enclosure of all remaining porch areas, addition of bay window on east facade. 1973: Garage demolished. 1983: New porch added. 1991: New foundation. 1992: Window replacement, reroofing. 1999: Tenant improvements.
*B7. Moved? No Yes Unknown Date: Original Location:
*B8. Related Features: None.
B9a. Architect: Unknown
b. Builder: Unknown
*B10. Significance: Theme Downtown residential development Area: Napa, California Period of Significance ca. 1880 Property Type Residential Applicable Criteria Napa HRI Landmark Criterion a (Discuss importance in terms of historical or architectural context as defined by theme, period, and geographic scope. Also address integrity)
It is possible that the house at 1330 Clay Street was constructed around 1880. Beginning in 1886, Sanborn Fire Insurance maps, show a small rectangular dwelling that appears to evolve into the current house over time through a series of additions and alterations. Although it is hard to ascertain for certain whether the original house may have been torn down and rebuilt, it does appear that the original plan was simply enlarged multiple times, porches enclosed, etc. The current architectural style of the house is simple and vernacular, but bears a few traits of turn-of-the-century stylistic conventions, such as the pedimented gables, rake boards and frieze, double-hung windows with wide trim, and bay windows.
If the house was constructed around 1880, the property was owned by M.E. Sickler at that time. In fact, it was owned by another member of the Sickler family as early as 1874. In the 1880 census, M.E. Sickler appears unassociated with an address, but is shown to be a widow with three children, including one son who was a railroad clerk. In 1884, M.E. Sickler sold the property to J.N. Pearson, who appears to have been a glove maker originally from Missouri. In the 1880 census, he lived at a house on Clay Street with his wife, Mary, their three children, and a boarder who was also a glove maker.
In 1891, J.N. Pearson sold the property to Eliza Ball, a widow, who promptly sold it to Ellen Grigsby within a month. Ellen Grigsby was the wife of John T. Grigsby, a farmer, who was likely a member of the prominent Grigsby family descended from one of Napa's earliest settlers, Captain John Grigsby. In 1907, Ellen Grigsby sold the property to her daughter and son-in-law, Mary Ellen and John Lawton. No biographical information was available for the Lawtons.
In 1908, the Lawtons sold the property at 1330 Clay Street to Peleg Meyers, about whom no biographical information was available. Meyers died around 1915 and the property was sold to Emma Moody at that time. Emma Moody was a widow who worked as a night attendant at the Napa State Hospital.
In 1919, Emma Moody sold the property to Charles C. and Helen M. Hamon. In 1920, the Hamons, who were retired, lived at 1330 Clay Street with their divorced daughter, Gertrude E. Payne, a dressmaker, and granddaughter Gladys. By the late 1920s, however, it appears that the Hamons moved out of the house. The 1930 census shows them living on a rural route and operating a poultry farm. Gertrude Payne still lived with them and was a saleswoman at a department store. The Hamons retained ownership of the property, but city directories show that Edward M. Moore, a Napa policeman, and his wife, Grace, lived in the house during the late 1920s, and that Frank DeSilva lived there in the mid-1930s.
In 1935, the Hammons to their daughter, Gertrude, lived at the subject property, and city directories show Gertrude living at 1330 Clay Street through the late 1960s. In 1959, she was working as a seamstress for Carithers. Although Gertrude Payne continued to own the property until 1978, she appears to have moved out of the house during the later years. In 1975, Calvin Courtnier, an employee for a wholesale brass and wrought iron company, lived at the address.
In 1978, Gertrude Payne sold the property to Lawrence W. Blanchard, and in 1980, Blanchard sold the property to the current owners, William W. and Denise B. Coffield. In 1986, retiree Esperanza Aguilar resided at the property, indicating that the Coffields rented the house.
NRHP Criterion A/CRHR Criterion 1/Napa HRI Landmark Criterion a (Events, Patterns and Trends)
Possibly constructed as early as 1880, the house at 1330 Clay Street appears to be significant for its role in the early residential development of downtown Napa. The building is located in downtown Napa, which has always been primarily commercial in nature, although the commercial core is surrounded by residential uses. This residential building appears to have been constructed very early and is an excellent example of an early residence associated with the initial growth of downtown Napa. For this reason, it appears to be significant under local Criterion a. The significance of the property does not rise to the level of significance required for listing in the National Register under Criterion A or the California Register under Criterion 1.
NRHP Criterion B/CRHR Criterion 2/Napa HRI Landmark Criterion b (Person)
The house at 1330 Clay Street does not appear to be eligible for NRHP/CRHR Criterion B/2 for association with the lives of persons significant to our past. Throughout the building's long history, it was a single family residence owned and occupied by various working and middle class families, but there is no indication that any of their members made significant contributions or were otherwise important to Napa's history. Although the property's early owners were, by default, some of Napa's earliest residents, none appear to have played significant roles in the establishment of the town. Although John T. and Ellen Grigsby may have been related to the prominent Grigsby family of Napa, the connection is not confirmed, nor would it be substantial enough to prove a significant association. Based on this, the property does not appear to qualify for listing in the National or California registers or for local listing under Criterion B/2/b.
NRHP Criterion C/CRHR Criterion 3/Napa HRI Landmark Criteria c,d,e (Design/Construction, Architects)
This house exhibits simple vernacular styling with turn-of-the-century stylistic conventions, such as the pedimented gables, rake boards and frieze, double-hung windows with wide trim, and bay windows. It is not an individually outstanding example of any particularly architectural style and has been altered greatly from the time of its apparent construction. Though it may be one of the older houses in the neighborhood, it cannot convey that fact and does not contribute strongly to the context of nineteenth century residential architecture in Napa. Though fewer in number than more recently built houses, there are other houses of a similar era in the neighborhood and city that are better examples of their time and architectural era. Additionally, research did not reveal the architect or builder of the house. It does not appear to qualify for listing in the National or California registers or for local listing under Criterion C/3/c,d,e.
Page 3 of 4 Resource Name # recorder) 1330 Clay Recorded Page & Turnbull, Inc. 9/10/2010
NRHP Criterion D/CRHR Criterion 4 Archival research provided no indication that the building has the potential to yield information important to the prehistory or history of Napa, California, or the nation. Therefore, it does not appear to be eligible for listing in the National or California registers under Criterion D/4.
The house at 1330 Clay Street retains its original use as a residence. Therefore, it retains integrity of association. The building has never been moved and retains integrity of location. Located on the edge of the primarily commercial downtown core, the building's surroundings have likely changed over the years, but illustrate the natural growth of the city, and so the property retains integrity of setting. Judging from Sanborn maps, the building has been altered and enlarged multiple times over the years and no longer resembles the original dwelling depicted on the maps. Therefore it does not retain integrity of design, materials or workmanship. The current style of the house relates more to early twentieth century architecture and, thus, integrity of feeling is not retained due to the fact that the property is not recognizable as a nineteenth century residence. Overall, the building does not retain sufficient historic integrity to convey its significance under local register criterion a.
In order to be considered an eligible historic resource, a property must possess both significance and integrity. 1330 Clay Street appears to be significant under local Napa HRI Landmark Criterion a, however it does not retain sufficient integrity to convey this significance. Due to lack of sufficient integrity, the building does not appear to be a historic resource. Therefore, it has been assigned the California Historical Resource Status Code of 6Z, indicating that it has been found ineligible for National, California or local designation through survey evaluation.
Ancestry.com: Federal Census records, WWI and WWII draft cards, Public Records Indexes, etc.
City of Napa Assessor’s Office: deed records.
City of Napa Building Division: building permits.
Coodley, Lauren and Paula Amen Schmitt. Napa: The Transformation of an American Town. San Francisco, CA: Arcadia Publishing, 2007.
Kilgallin, Anthony. Napa: An Architectural Walking Tour. San Francisco, CA: Arcadia Publishing, 2001. Napa city directories.
The Napa Valley Museum and Lin Weber. Napa. San Francisco, CA: Arcadia Publishing, 2004. Sanborn Fire Insurance maps (1886, 1891, 1901, 1910, 1924, 1949)
Weber, Lin. Old Napa Valley: The History to 1900. St. Helena, CA: Wine Ventures Publishing, 1998.
Weber, Lin. Roots of the Present: Napa Valley 1900 to 1950. St. Helena, CA: Wine Ventures Publishing, 2001.
 
    Page 1 of 3
B1. Historic name: N/A
B2. Common name: City of Napa Water Division
B3. Original Use: Residential B4. Present use: Government office
*B5. Architectural Style: Greek Revival
*NRHP Status Code 6Z
*Resource Name or # 1340 Clay Street____ (APN 003161007000)
*B6. Construction History: (Construction date, alterations, and date of alterations)
Ca. 1880: 2-story dwelling constructed at corner of Franklin and Clay streets. Ca. 1905: 2-story addition constructed adjacent to east side of original dwelling. 1973: roof replaced and garage demolished. 1975: underground electrical service installed. 1978: roof replaced. 1983: New porch added. 1991: new foundation. 1992: roof replaces and windows replaced. 1999: unspecified tenant improvements.
*B7. Moved? No Yes Unknown Date: Original Location:
*B8. Related Features: Parking lot
B9a. Architect: Unknown
b. Builder: Unknown
*B10. Significance: Theme Downtown residential development Area: Napa, California
Period of Significance ca.1880-ca. 1905 Property Type Residential Applicable Criteria Napa HRI Landmark Criterion a (Discuss importance in terms of historical or architectural context as defined by theme, period, and geographic scope. Also address integrity)
The City of Napa Water Division Building at 1340 Clay Street (originally addressed as 26 Clay Street) was constructed circa 1880 as a 2-story dwelling. Sanborn Fire Insurance maps were not available prior to this time to indicate if any buildings pre-dated the dwelling on the lot. The 1886 Sanborn Fire Insurance map shows six total dwellings on the block bounded by Franklin, Clay, Randolph and Pearl Streets, with the subject building located at the southwest corner of the block. The other five dwellings (addressed as 24 and 23 Clay Street, 20 and 19 Randolph Street, and 15 Pearl Street moving east from the subject property) were located along the perimeter of the block, with sheds, and outhouse, and storage structures located in the center of the block. A Chinese Mission was located to the north of the subject property along Franklin Street. The block was not yet divided into lots (which do not appear until the 1891 Sanborn map) and the buildings were oriented to face the street. A simple, American Foursquare-style 2-story addition was constructed on the east side of the original building in circa 1905.
 
    Deed records indicate that the subject property, including the western portion of Lot 4 in Block 30 of Napa City, was first sold by Napa founder Nathan Coombs to J. N. Larimer in 1867. Larimer and John P. Price sold the property to Henry and Eliza Ball in 1869. Eliza Ball sold the property to Henry Fowler in 1884 and he resided there with his wife Catherine. Henry Fowler died in 1904 and the property officially transferred to Catherine Fowler in 1909. Catherine Fowler sold the property to Henry J. Frisch, Jr. in 1911. Henry J. Frisch, Jr. was a brakeman and resided at 1340 Clay Street with his wife Minnie. In the 1935 Napa City Directory the Frisches’ children were also listed at 1340 Clay Street—son Francis H. Frisch, a shipwright, and his wife Eileen; and daughter Erler H. Frisch, a clerk for Bank of America. In the 1959 city directory, Erler’s husband, Harvey H. Potter, a leadman for the State Division of Highways, also resided at 1340 Clay Street. Frisch transferred the property to Erler Potter (1/2 interest) and Francis H. Frisch (1/2 interest) in 1966. Erler Potter resided at the residence until her death in 1987. The property is currently owned by John F. Frisch, et al. and has been converted to house the City of Napa Water Division Office.
NRHP Criterion A/CRHR Criterion 1/Napa HRI Landmark Criterion a (Events, Patterns and Trends)
Constructed in circa 1880, the house at 1340 Clay Street appears to be significant under this criterion because it demonstrates the early residential development that occurred on the outskirts of the city’s commercial downtown core. The building is located in a residential area surrounding the commercial core of downtown Napa, and is associated with the early development of this neighborhood. 1340 Clay Street exemplifies an important trend in the early residential development of the downtown, as it played a part in the general growth and development of the area and has sufficient associations with these trends to be significant under Napa HRI Landmark Criterion a. However, the significance of the building does not rise to the level of significance required to be eligible for listing in the National Register or California Register under Criterion A/1.
NRHP Criterion B/CRHR Criterion 2/Napa HRI Landmark Criterion b (Person)
The house at 1340 Clay Street does not appear to be significant for association with the lives of persons significant to our past. Although the property was originally owned by Napa founder Nathan Coombs, Coombs was not associated with the construction or development of the residential building on the property. Coombs owned the entire City of Napa, which he later subdivided and sold, and this property is not closely associated with Coombs or his productive life. Throughout the building's history, it was a single family residence owned and occupied by working, middle, and upper class families, but there is no indication that any of their members made significant enough contributions to Napa's history to qualify under this criterion. Therefore, 1340 Clay Street does not appear to be eligible for listing under Criterion B/2/b.
NRHP Criterion C/CRHR Criterion 3/Napa HRI Landmark Criteria c,d,e (Design/Construction, Architects)
The original house at 1340 Clay Street exhibits characteristics of the Greek Revival style and is a good example of early residential architecture in Napa. However, the property is not a sufficiently remarkable example of a type, method, or style of architecture, and higher-quality examples of this style exist throughout Napa. This is largely due to the fact that the building underwent a major addition in circa 1905 that drastically changed the character of the circa 1880 original house. Additionally, research did not reveal the architect or builder of the building. Ultimately, 1340 Clay Street does not have the high architectural merit or association with a master architect and does not appear to be eligible for listing under Criterion C/3/c,d,e.
NRHP Criterion D/CRHR Criterion 4
Archival research provided no indication that the building has the potential to yield information important to the prehistory or history of Napa, California, or the nation. Therefore, it does not appear to be eligible for listing under Criterion D/4.
The building at 1340 Clay Street has been converted from its original use as single/multiple family property to use as government offices. Although the use has changed, the property still clearly exhibits the characteristics of an early residential property in this neighborhood and integrity of association is retained. The building has never been moved and, so, retains integrity of location. When constructed, the building was part of a residential neighborhood surrounding the commercial core of Napa’s downtown district. Today, this area is characterized by largely commercial uses, and many of the residential properties that characterized the neighborhood in the early twentieth century have been demolished. Due to these changes in the surrounding neighborhood, the building does not retain integrity of setting. The 1905 addition to the original house has not achieved significance in its own right and drastically altered the character, scale, massing and style of the original Greek Revival dwelling. More recent exterior changes have also occurred, including the replacement of windows with non-compatible vinyl sash and replacement of the front porch. Due to the combined effect of these changes, the building does not retain integrity of design, materials or workmanship. The lack of integrity in the areas described above prevent the building from being fully understood as a circa 1880 Greek Revival dwelling in the downtown district and therefore the building does not retain integrity of feeling. Overall, the building does not possess sufficient historic integrity to convey its significance.
In order to be considered an eligible historic resource, a property must possess both significance and integrity. 1340 Clay Street appears to be eligible for listing in the local register under Criterion a, but does not retain sufficient integrity to convey its significance under this criterion and therefore does not appear to be an eligible historic resource. The building has therefore been assigned a California Historical Resource Status Code of 6Z (ineligible for National, California or local designation through survey evaluation).
Ancestry.com: Federal Census records, WWI and WWII draft cards, Public Records Indexes, etc.
City of Napa Assessor’s Office: deed records.
City of Napa Building Division: building permits.
Coodley, Lauren and Paula Amen Schmitt. Napa: The Transformation of an American Town. San Francisco, CA: Arcadia Publishing, 2007.
Kilgallin, Anthony. Napa: An Architectural Walking Tour. San Francisco, CA: Arcadia Publishing, 2001. Napa city directories.
The Napa Valley Museum and Lin Weber. Napa. San Francisco, CA: Arcadia Publishing, 2004.
Sanborn Fire Insurance maps (1886, 1891, 1901, 1910, 1924, 1949)
Weber, Lin. Old Napa Valley: The History to 1900. St. Helena, CA: Wine Ventures Publishing, 1998.
Weber, Lin. Roots of the Present: Napa Valley 1900 to 1950. St. Helena, CA: Wine Ventures Publishing, 2001.
 
    Page 1 of 3
B1. Historic name: None
*NRHP Status Code 6Z
*Resource Name or # 1514 Clay Street APN: 003197010000
 
    B2. Common name: None B3. Original Use: Residential B4. Present use: Residential
*B5. Architectural Style: Simple Bungalow
*B6. Construction History: (Construction date, alterations, and date of alterations) Circa 1905: Constructed.
*B7. Moved? No Yes Unknown Date: Original Location:
*B8. Related Features: None
B9a. Architect: Unknown b. Builder: Unknown
*B10. Significance: Theme Downtown residential development Area: Napa, California Period of Significance ca. 1905 Property Type Residential Applicable Criteria N/A (Discuss importance in terms of historical or architectural context as defined by theme, period, and geographic scope. Also address integrity)
The house at 1514 Clay Street was constructed circa 1905. Sanborn Fire Insurance maps show that the property’s address changed: it was 334 Clay Street in 1910, and was changed to 1514 Clay Street by 1924. At the time of its construction, 1514 Clay Street was located on a block with other similarly-sized residences, but it has since been enveloped by large scale, modern commercial infill construction.
The earliest known owner of the property was Samuel E. Gordon, a real estate investory, who bought it from Napa County Title Co in 1948. In 1978, Gordon sold the property to Henry S. Guerrero. In 1983, the property transferred to Guerrero Mortuary Chapel, with headquarters in San Leandro, CA.
According to City Directories, the property appears to have been a single-family residence until 1942 when it was converted to two flats. Larry Skivington, an electrician, and his wife Betty lived in one of the flats from 1949 to 1975. Other tenants included Edward Jones, a book keeper in 1959; David and Charlotte Dyreng, a student and Assistant at Napa County-City Public Library in 1967; and Mark and Jackie Shadle, a teacher at Napa Valley Day School in 1986. The building is still in use as two flats today.
(continued)
B11.
*B12. of Napa Assessor’s City of Napa
(continued)
B13.
CONTINUATION SHEET 2 of 3 Name or # (Assigned by recorder) 1514 Clay Street Recorded by Page & Turnbull, Inc. 9/3/2010 2/22/11)
NRHP/CRHR Criterion A/1/a
Constructed circa 1905, the house at 1514 Clay Street does not appear to be significant for association with events important to the broad patterns of history. The building is located in downtown Napa, which has always been primarily commercial in nature, although the commercial core is surrounded by largely residential neighborhoods. This residential building is not associated with the growth of downtown as a commercial center. It plays a part in the general growth and development of the area, however it does not have sufficient or specific associations with these trends to set it apart as significant. Therefore, 1514 Clay Street does not appear to be eligible under NRHP/CRHR Criterion A/1/a.
NRHP/CRHR Criterion B/2/b
The house at 1514 Clay Street does not appear to be eligible for Criterion B/2/b for association with the lives of persons significant to the history of Napa. Samuel Gordon, a prominent real estate investor in Napa, was associated with the property, however, his connection to the property was for investment purposes and he is not closely associated with the property such that would warrant significance under this criterion. During much of the building's history, it was a single family residence occupied or owned by various working-class families, but there is no indication that any of the occupants made significant contributions or were otherwise important to Napa's history. Therefore, the property does not have significance under Criterion B/2/b.
NRHP/CRHR Criterion C/3/c, d, e
The house at 1514 Clay Street exhibits simple, vernacular bungalow styling. It is a good example of a modestly-sized worker’s cottage, and although it has high physical integrity, it is not an individually outstanding example of a type, period, style, or method of construction, and other examples exist throughout the city. Research did not reveal the architect or builder of the house, and ultimately, it lacks sufficient architectural distinction to qualify under Criterion C/3/c, d, e, nor does it appear to contribute to any potential historic district of similar buildings.
NRHP/CRHR Criterion D/4
Archival research provided no indication that the building has the potential to yield information important to the prehistory or history of Napa, California, or the nation. Therefore, it does not appear to be eligible for listing under Criterion D/4.
The house at 1514 Clay Street retains its original use as a residence. Therefore, its integrity of association with residential development themes is strong. The building has never been moved and, so, has strong integrity of location. When constructed, the building was located within an early residential neighborhood. The building's surroundings have changed over the years, with adjacent residences converted to commercial use and the construction of commercial infill properties, and so the property's setting no longer retains integrity. The building has been minimally altered; therefore its integrity of design, materials and workmanship is strong. Integrity of feeling is supported by the fact that the property is still recognizable as an early twentiethcentury residence. Overall, the building retains historic integrity.
1514 Clay Street does not appear eligible for listing in the national, state, or local registers under any criteria, and has therefore been assigned a California Historical Resource Status Code of 6Z (ineligible for National, California or local designation through survey evaluation).
Coodley, Lauren and Paula Amen Schmitt. Napa: The Transformation of an American Town. San Francisco, CA: Arcadia Publishing, 2007.
Kilgallin, Anthony. Napa: An Architectural Walking Tour. San Francisco, CA: Arcadia Publishing, 2001. Napa city directories.
The Napa Valley Museum and Lin Weber. Napa. San Francisco, CA: Arcadia Publishing, 2004. Sanborn Fire Insurance maps (1886, 1891, 1901, 1910, 1924, 1949)
Weber, Lin. Old Napa Valley: The History to 1900. St. Helena, CA: Wine Ventures Publishing, 1998. Weber, Lin. Roots of the Present: Napa Valley 1900 to 1950. St. Helena, CA: Wine Ventures Publishing, 2001.
 
    Page 1 of 2
B1. Historic name: None
B2. Common name: None
*NRHP Status Code 6Z
*Resource Name or # 1526 Clay Street APN: 003197011000
B3. Original Use: Residential B4. Present use: Residential
 
    *B5. Architectural Style: Queen Anne
*B6. Construction History: (Construction date, alterations, and date of alterations)
Circa 1885: Constructed. Between 1901 and 1910: Bay window added.1989: Electrical.
*B7. Moved? No Yes Unknown Date: Original Location: *B8. Related Features: None
B9a. Architect: Unknown b. Builder: Unknown
*B10. Significance: Theme Downtown residential development Area: Napa, California Period of Significance 1885 Property Type Residential Applicable Criteria N/A (Discuss importance in terms of historical or architectural context as defined by theme, period, and geographic scope. Also address integrity)
The house at 1526 Clay Street was constructed circa 1885. According to Sanborn Fire Insurance maps, the property changed addresses three times. The 1891 map shows that it was addressed as 14 Clay Street. On the 1901 and 1910 maps the address was 340 Clay Street. The current address, 1526 Clay, is shown on the 1924 and 1949 maps. Maps indicate that the building may have been enlarged between 1901 and 1910 with the addition of a bay window.
According to Deed Records, the earliest known owner of the property was C.H. and Marie S. Deane, who owned it prior to 1919. Deane sold the property to Christian and Netha Kinder in 1919. 1910 and 1920 Census records do not show the Kinders living at the property. Both Christian and Netha were born in Germany and came to the United States in 1880. Christian worked as a farmer. In 1921 Christian Kinder became the sole owner, likely after his wife died. Walter Kinder, Christian’s son, inherited the property in 1934 when his father died. According to City Directories, Walter and Myrtle, his wife, occupied the property as early as 1929. Walter was a plumber at Graham & Hill Sheet Metal. Myrtle Kinder and Dorothy Kiser, their daughter, inherited the property in 1963. In 1979 the property was sold to A.H. Smith Co., a partnership. City Directories indicate that the property was likely a rental unit as it was occupied by Melba Gregson in 1986. The building is currently vacant.
(continued)
B11.
*B12. of Napa Assessor’s of Napa
(continued)
B13.
*B14.
NRHP/CRHR Criterion A/1/a
Constructed circa 1885, the house at 1526 Clay Street does not appear to be significant for association with events important to the broad patterns of history. The building is located in downtown Napa, which has always been primarily commercial in nature, although the commercial core is surrounded by largely residential neighborhoods. At the time of construction, the building was located in a neighborhood consisting of small, working-class houses. This residential building is not associated with the growth of downtown as a commercial center, or with the development of one of the surrounding residential neighborhoods. Therefore, 1526 Clay Street does not appear to be eligible under Criterion A/1/a.
NRHP/CRHR Criterion B/2/b
The house at 1526 Clay Street does not appear to be eligible for Criterion B/2/b for association with the lives of persons significant to the history of Napa. For much of the building's history, it was a single family residence occupied and owned by common workingclass families, but there is no indication that any of the occupants made significant contributions or were otherwise important to Napa's history. Therefore, the property does not have significance under Criterion B/2/b.
NRHP/CRHR Criterion C/3/c, d, e
The house at 1526 Clay Street exhibits simple, vernacular bungalow styling with Queen Anne-style details. It is a good example of a modestly-sized worker’s cottage, and although it has high physical integrity, it is not an individually outstanding example of a type, period, style, or method of construction, and other examples exist throughout the city. Research did not reveal the architect or builder of the house, and ultimately, it lacks sufficient architectural distinction to qualify under Criterion C/3/c, d, e, nor does it appear to contribute to any potential historic district of similar buildings.
NRHP/CRHR Criterion D/4
Archival research provided no indication that the building has the potential to yield information important to the prehistory or history of Napa, California, or the nation. Therefore, it does not appear to be eligible for listing under Criterion D/4.
The house at 1526 Clay Street is vacant, but its integrity of association with residential development themes is strong. The building has never been moved and, so, has strong integrity of location. When constructed, the building was located within an early residential neighborhood. The building's surroundings have drastically changed over the years, with nearby residences converted to commercial use and new commercial infill constructed, and so the property no longer retains integrity of setting. The building was altered early in its history. These alterations may have taken on significance over time, therefore its integrity of design, materials and workmanship is strong. Integrity of feeling is supported by the fact that the property is still recognizable as an early twentieth-century residence. Overall, the building retains historic integrity.
1526 Clay Street does not appear eligible for listing in the national, state, or local registers under any criteria, and has therefore been assigned a California Historical Resource Status Code of 6Z (ineligible for National, California or local designation through survey evaluation).
Coodley, Lauren and Paula Amen Schmitt. Napa: The Transformation of an American Town. San Francisco, CA: Arcadia Publishing, 2007.
Kilgallin, Anthony. Napa: An Architectural Walking Tour. San Francisco, CA: Arcadia Publishing, 2001. Napa city directories.
The Napa Valley Museum and Lin Weber. Napa. San Francisco, CA: Arcadia Publishing, 2004.
Sanborn Fire Insurance maps (1886, 1891, 1901, 1910, 1924, 1949)
Weber, Lin. Old Napa Valley: The History to 1900. St. Helena, CA: Wine Ventures Publishing, 1998.
Weber, Lin. Roots of the Present: Napa Valley 1900 to 1950. St. Helena, CA: Wine Ventures Publishing, 2001.
 Primary façade of 1526 Clay Street, view north from Clay Street. & Turnbull 2010)
    Primary façade of 1526 Clay Street, view north from Clay Street. & Turnbull 2010)
          Page 1 of 3
*NRHP Status Code 6Z
*Resource Name or # 1600 Clay St/1107-15 Seminary St (APN 003191004000)
 
    B1. Historic name: Pacific Telephone & Telegraph Company Business Office
B2. Common name: City of Napa Economic Development Department/Napa Community Redevelopment Agency Office
B3. Original Use: Commercial B4. Present use: Commercial/Government building
*B5. Architectural Style: Modern
*B6. Construction History: (Construction date, alterations, and date of alterations) 1955: constructed. (No building permit records available documenting subsequent alterations).
*B7. Moved? No Yes Unknown Date: Original Location: *B8. Related Features: Parking lot
B9a. Architect: Unknown b. Builder: Unknown
*B10. Significance: Theme Downtown commercial development Area: Napa, California Period of Significance 1955 Property Type Commercial Applicable Criteria N/A (Discuss importance in terms of historical or architectural context as defined by theme, period, and geographic scope. Also address integrity)
The commercial building at 1600 Clay Street/1107-1115 Seminary Street was constructed in 1955 on a lot that previously consisted of two parcels, each occupied by a dwelling. The two dwellings (a 1-story dwelling at 1101 Seminary Street and a 1-1/2 story dwelling at 1121 Seminary Street, no longer extant) at the corner of Clay and Seminary Streets were removed for the construction of the subject building. The 1949 Sanborn Fire Insurance map shows an Intermediate School (no longer extant)on a large lot to the west of the subject building addressed as 1124 Jefferson Street. To the north of the subject parcel was another 2story dwelling at 1133 Seminary Street and the First Church of Christ Scientist to the north at 1519 Polk Street.
Deed records indicate that the subject parcel was leased from George N. and Elizabeth F. Frykberg of Hillsborough by the Pacific Telephone and Telegraph Company for their business office from 1956 until 1977. It is likely that the Pacific Telephone and Telegraph Company constructed the building, but leased the land from the local owners. The property transferred ownership in 1984 to the Napa Investment Company and then to Walter L. and Velma A. Fox (2/3 interest) and John P. and Mildred V. Lambrecht (1/3 interest) of Napa later that year. According to Napa City Directories, the Pacific Telephone and Telegraph Company leased the property from the time of the building’s construction in 1955 until 1985. In 1986, Napa Valley Telecom Services leased the property. The building is currently owned by the City of Napa Housing Authority and serves as the offices for the City’s Economic Development Division and the Napa Community Redevelopment Agency (NCRA).
CONTINUATION SHEET Name recorder) 1600 Clay St/1107-15 Seminary 09/14/2010
NRHP Criterion A/CRHR Criterion 1/Napa HRI Landmark Criterion a (Events, Patterns and Trends)
Constructed in 1955, the building at 1600 Clay Street/1107-1115 Seminary Street does not appear to be significant for association with events or trends important to the history of Napa. The building is located in a former residential neighborhood that consisted largely of small, working-class houses built during the early twentieth century. This commercial building was constructed well after the initial development of the area and supplanted older houses located on the property. It does not have associations with any major development trends and does not correspond to any major commercial booms that were specific to the area. Therefore, 1600 Clay Street/1107-1115 Seminary Street does not appear to be eligible for listing under Criterion A/1/a.
NRHP Criterion B/CRHR Criterion 2/Napa HRI Landmark Criterion b (Person)
The building at 1600 Clay Street/1107-1115 Seminary Street does not appear to be significant under Criterion B/2/b for association with the lives of persons significant to the history of Napa. Throughout the building's early history, the property was leased by an out-of-town property owner to a large corporation. While these people were likely successful real estate owners, they do not appear to have had been sufficiently important to the history of Napa to lend significance to the building that they owned. Therefore, the property does not appear to be eligible for listing under Criterion B/2/b.
NRHP Criterion C/CRHR Criterion 3/Napa HRI Landmark Criteria c,d,e (Design/Construction, Architects)
1600 Clay Street/1107-1116 Seminary Street exhibits mid-century architectural styling. The building is generally intact and has not undergone any major alterations. However, despite its good physical integrity it is not a sufficiently remarkable example of a type, method, or style of architecture. Additionally, research did not reveal the architect or builder of the building. Ultimately, it does not have high architectural merit or association with a master architect and thus does not appear to be eligible for listing under Criterion C/3/c,d,e.
NRHP Criterion D/CRHR Criterion 4
Archival research provided no indication that the building has the potential to yield information important to the prehistory or history of Napa, California, or the nation. Therefore, it does not appear to be eligible for listing under Criterion D/4.
The building at 1600 Clay Street/1107-1115 Seminary Street, retains its original use as a commercial property housing one large sized tenant (originally the Pacific Telephone & Telegraph Company and now the City of Napa). Therefore, its integrity of association is strong. The building has never been moved and, so, has strong integrity of location. When constructed, the building was located within a mixed commercial/residential neighborhood on the northwestern edge of Napa’s downtown district. Today, this area is characterized by largely commercial uses, and many of the residential properties that characterized the neighborhood in the early twentieth century have been demolished. Due to these changes in the surrounding neighborhood, the building does not retain integrity of setting. The building has undergone few alterations, except for the addition of various signs and awnings, and therefore its integrity of design, materials and workmanship is intact. These factors contribute to integrity of feeling, which is supported by the fact that the property is still recognizable as a mid-century commercial building. Overall the building appears to retain historic integrity.
Due to lack of significance, 1600 Clay Street/1107-1115 Seminary Street does not appear eligible for listing in the national, state, or local registers under any criteria, and has therefore been assigned a California Historical Resource Status Code of 6Z (ineligible for National, California or local designation through survey evaluation).
Ancestry.com: Federal Census records, WWI and WWII draft cards, Public Records Indexes, etc.
City of Napa Assessor’s Office: deed records.
 
    City of Napa Building Division: building permits.
Coodley, Lauren and Paula Amen Schmitt. Napa: The Transformation of an American Town. San Francisco, CA: Arcadia Publishing, 2007.
Kilgallin, Anthony. Napa: An Architectural Walking Tour. San Francisco, CA: Arcadia Publishing, 2001. Napa city directories.
The Napa Valley Museum and Lin Weber. Napa. San Francisco, CA: Arcadia Publishing, 2004.
Sanborn Fire Insurance maps (1886, 1891, 1901, 1910, 1924, 1949)
Weber, Lin. Old Napa Valley: The History to 1900. St. Helena, CA: Wine Ventures Publishing, 1998.
Weber, Lin. Roots of the Present: Napa Valley 1900 to 1950. St. Helena, CA: Wine Ventures Publishing, 2001.
Primary façade of 1600 Clay Street/1107-15 Seminary Street, view north from Clay Street. (Page & Turnbull 2010)
Page 1 of 3
B1. Historic name: None
B2. Common name: None
B3. Original Use: Residential
*B5. Architectural Style: Bungalow
*NRHP Status Code 6Z
*Resource Name or # 845 Clinton Street APN: 003147001000
B4. Present use: Residential
*B6. Construction History: (Construction date, alterations, and date of alterations)
ca 1905: Constructed. 1978: Replace carpet. 1980: 100 amp sew. 1983: Stair reconstruction. 1983: Sewer line. 2006: Flood repair (raise house, new vinyl siding, framing, porch and mechanical). 2006: Replace water heater. 2010: reroof (tear off, resheet with composition roofing).
*B7. Moved? No Yes Unknown Date: Original Location:
*B8. Related Features: None
B9a. Architect: Unknown
b. Builder: Unknown
*B10. Significance: Theme Downtown residential development
 
    Area: Napa, California
Property Type Residential Applicable Criteria N/A (Discuss importance in terms of historical or architectural context as defined by theme, period, and geographic scope. Also address integrity)
Period of Significance circa 1905
The house at 845 Clinton Street was constructed around 1905. According to Sanborn Fire Insurance maps, the house was marked as a “female boarding house,” and is known to have served as a bordello for many years. The earliest known owner of the property was A.H. Caldwell, who owned it prior to 1920. In 1920, Caldwell sold the property to May and Samuel Breeding. According to the 1920 and 1930 Census, Samuel was an electrician at the navy yard. In 1924 Breeding sold the property to Gabriel Bonetti, a rigger. Gabriel Bonetti sold 845 Clinton Street to Giacomo Pagani in 1925. The 1920 Census shows that Pagani, a laborer, and his wife Mary emigrated from Italy in 1902. They had four children: Joe, Jacob, Josephine, Chester. Pagani’s mother, Giovanina, also lived with the family. The 1930 Census shows that Pagani may have died, as Mary is listed as head of the household and had two more children: Mary and Rosie. The eldest two children worked as a shoemaker in a factory and a chore boy on a farm. According to 1942 City Directories Mary was a book keeper at Napa Steam Laundry. Pagani’s son, Joe, inherited the property in 1951. City Directories list his occupation as a rigger at Mare Island. Building permits indicate that Joe owned the property until about 1983. The current owner is Christian Blair Pitts, and the building is still in use as a single-family residence by Ms. Pitts and her husband Robert Pitts.
(continued)
Page 2 of 3
*Recorded by Page & Turnbull, Inc.
Trinomial
Resource Name or # (Assigned by recorder) 845 Clinton Street
*Date 8/30/2010 (rev. 2/22/2011) Continuation Update
845 Clinton Street shares a similar history with other resources in the St. John’s neighborhood to the north of Downtown Napa, and was associated with the development of the area as “Spanish Town.” Spanish Town was located in the northeast portion of downtown, between Napa Creek, West Street, Stuart Street (now Clinton Street), and Edmondson Street (now Yajome Street). Some sources extend Spanish Town as far west as Brown Street, as far north as Vallejo Street, and as far east as the Southern Pacific Railroad right-of-way (now Soscol Avenue). Napa’s Spanish Town was a notorious area, with a number of murders recorded during the Victorian era, and a “red light district” in the early twentieth century. In many California towns, the term “Spanish Town” was used to refer to the Latin Quarter, or areas where Spanish and/or Italian immigrants congregated. It is likely that in Napa, the name had similar derivations. As the Mexican ranchos were sold off to American developers, many of the ranchos’ Spanish-speaking laborers moved into Cornwall’s Addition because of its proximity to the industrial uses along Soscol Avenue. In addition to Mexican and Spanish residents, many working-class Italian immigrants settled in or near Spanish Town. St. John’s Catholic Church at Main and Caymus was a focal point of Napa’s Italian community, and was a catalyst for ethnically diverse working-class residential development in the surrounding blocks. Architecture in Spanish Town was typical of workingclass residential development throughout the city, and there do not appear to be any notable design trends exclusive to this area. By the 1930s, many of the neighborhood’s original residents had moved away, and Spanish Town was no longer the close-knit community it had once been.
NRHP Criterion A/CRHR Criterion 1/Napa HRI Landmark Criterion a (Events, Patterns and Trends)
Constructed circa 1905, the house at 845 Clinton Street does not appear to be significant for association with events important to the broad patterns of history. The building was located in Napa’s “Spanish Town,” a historically ethnically diverse working-class Napa neighborhood filled with small wood-framed cottages. However, mere association with historic trends is not enough, in and of itself, to qualify under this criterion: the property’s specific association must be considered important as well. While 845 Clinton Street reflects the general growth and development of the area and has ties to the Italian-American community in Spanish Town and St. John’s Addition, it does not have sufficient or specific associations with these trends to set it apart as significant. Therefore, 845 Clinton Street does not appear to be eligible under Criterion A/1/a. The “Spanish Town” theme would be better represented under this criterion as a historic district, but there does not appear to be a high enough concentration of extant historic resources associated with this theme to qualify as a historic district.
NRHP Criterion B/CRHR Criterion 2/Napa HRI Landmark Criterion b (Person)
The house at 845 Clinton Street does not appear to be eligible for Criterion B/2/b or Napa HRI Landmark Criterion b for association with the lives of persons significant to our past. Throughout the building's history, it was a single family residence owned and occupied by various working-class families, but there is no indication that any of the occupants made significant contributions or were otherwise important to Napa's history. Many of the tenants were of Italian descent, but again, none appeared to have played a prominent role within Napa’s Italian-American community or the development of Napa’s “Spanish Town.” Therefore, the property does not have significance under Criterion B/2/b.
NRHP Criterion C/CRHR Criterion 3/Napa HRI Landmark Criteria c,d,e (Design/Construction, Architects)
The house at 845 Clinton Street exhibits simple, vernacular bungalow styling. It is a good example of a modestly-sized worker’s cottage, but it is not an individually outstanding example of a type, period, style, or method of construction, and other examples exist throughout the city. Research did not reveal the architect or builder of the house, and ultimately, it lacks sufficient architectural distinction to qualify individually under Criterion C/3/c, d, e, nor does it appear to contribute to any potential historic district of similar buildings.
NRHP/CRHR Criterion D/4
Archival research provided no indication that the building has the potential to yield information important to the prehistory or history of Napa, California, or the nation. Therefore, it does not appear to be eligible for listing under Criterion D/4.
Page 3 of 3 Name # (Assigned by recorder) 845 Clinton Street Recorded by Page & Turnbull, Inc. 8/30/2010 2/22/2011)
The building at 845 Clinton Street retains its original use as a single-family residence. Therefore, its integrity of association with residential development themes is strong. The building has never been moved and, so, has strong integrity of location. The property is still recognizable as an early twentieth century single-family residence, and therefore retains integrity of feeling. Yajome Street was realigned sometime after 1949 and Soscol Avenue was extended in the 1980s, and many of the historic residences surrounding 845 Clinton Street were demolished to make way for these new streets. Combined with the introduction of contemporary commercial/civic buildings and landscapes to the immediate west of the subject property, the building’s surroundings have changed, and therefore the property lacks integrity of setting. The building underwent a major renovation following the 2005 flood: the house was raised, the porch was replaced, and new framing, vinyl siding, and windows were installed. These changes, while sensitively designed to retain the residence’s general form and massing, have collectively resulted in a substantial change to the resource’s historic character, and therefore the property’s integrity of design, materials and workmanship have been compromised. Because feeling and association depend on individual perceptions, their retention alone is never sufficient to qualify a property for listing in a historical register; therefore, due to alterations to the building and its surroundings, overall, 845 Clinton Street does not retain historic integrity.
The building at 845 Clinton Street does not appear to be significant under NRHP, CRHR or Napa HRI Landmark criteria, and does not retain sufficient historic integrity. 845 Clinton Street has therefore been assigned a California Historical Resource Status Code of 6Z (ineligible for National, California or local designation through survey evaluation).
 
    City of Napa Building Division: building permits.
Coodley, Lauren and Paula Amen Schmitt. Napa: The Transformation of an American Town. San Francisco, CA: Arcadia Publishing, 2007.
Kilgallin, Anthony. Napa: An Architectural Walking Tour. San Francisco, CA: Arcadia Publishing, 2001. Napa city directories.
The Napa Valley Museum and Lin Weber. Napa. San Francisco, CA: Arcadia Publishing, 2004. Sanborn Fire Insurance maps (1886, 1891, 1901, 1910, 1924, 1949)
Weber, Lin. Old Napa Valley: The History to 1900. St. Helena, CA: Wine Ventures Publishing, 1998. Weber, Lin. Roots of the Present: Napa Valley 1900 to 1950. St. Helena, CA: Wine Ventures Publishing, 2001.
Photographs: Primary façade of 845 Clinton Street, view south from Clinton Street. (Page & Turnbull 2010)Page 1 of 4
*NRHP Status Code 6Z
*Resource Name or # 801 Coombs St/830 Randolph St (APN 003300007000/ 003300002000)
B1. Historic name: W. H. Young Building
B2. Common name: W.H. Young Building; United States Post Office Annex (rear unit, 830 Randolph)
B3. Original Use: Commercial B4. Present use: Commercial
*B5. Architectural Style: 20th Century Commercial
*B6. Construction History: (Construction date, alterations, and date of alterations)
1920: building constructed. 1979: commercial office remodel. 1993: seismic retrofit completed. Original windows replaced with sliding aluminum sash at unknown date.
*B7. Moved? No Yes Unknown Date: Original Location:
*B8. Related Features:
The building at 801 Coombs Street/830 Randolph Street is part of a complex of four parcels, including 811 Coombs Street (APN 003300005000) and 821 Coombs Street (APN 003300001000).
 
    B9a. Architect: Unknown
b. Builder: Unknown
*B10. Significance: Theme Downtown commercial development Area: Napa, California
Period of Significance 1915 Property Type Commercial Applicable Criteria Napa HRI Landmark Criterion a (Discuss importance in terms of historical or architectural context as defined by theme, period, and geographic scope. Also address integrity)
The W.H. Young Building at 801 Coombs Street was constructed in 1920 as a 2-story commercial building with a 1-story west wing on the corner of Coombs and Third Streets in downtown Napa. The 1910 Sanborn Fire Insurance maps show that the prior to the construction of the subject building, the property was previously two separate parcels: the eastern parcel was vacant and the western parcel contained a two story dwelling facing Third Street (no longer extant). The property was at this time part of a larger residential plot of land defined as Lot 4 and a portion of Lot 2 in Block 23 in the “Plan of Napa City” map dated 1853 and located in Book B of Deeds at the Napa County Assessor’s Office. The dwelling was addressed as 310 Third Street and appeared on Sanborn maps as early as 1886. The dwelling was originally oriented to face Coombs Street, and was likely moved to face Third Street to allow for the construction of commercial buildings along Coombs Street in the early twentieth century. Constructed in 1920, the subject building first appeared on the 1924 Sanborn map as a hardware and grocery store (2-story portion) and a hardware and implements store (1-story portion) addressed as 803-807 Coombs Street and 1218 Third Street respectively. The two portions of the building were divided by a shared wall and a connection was provided by a metal interior door.
In 1924, the block containing the subject parcel (bounded by Coombs, Third, Randolph and Second Streets) contained several commercial buildings with auto and agricultural related uses, as well as a two story dwelling and a 2-story lodging house. The Napa County Court House was located on the neighboring block to the east addressed as 824 Coombs Street. The building is closely related to the other commercial buildings on the block, and the rear of the 1-story portion of the building abuts 821 Coombs Street at the rear. Sometime circa 1950, the garage at the corner of Randolph and Third Streets was demolished, exposing the rear of the 1-story west wing of the subject building. This allowed for the creation of a commercial unit at the rear, addressed as 830 Randolph Street and currently used as the United States Post Office: Wine Valley Box Unit. Today, the building at 801 Coombs Street/830 Randolph Street is surrounded by a scattering of commercial, residential, and institutional/religious buildings from the early twentieth century, including the Napa County Courthouse to the east. Many of the historic buildings in the neighborhood have been demolished to create large parking lots in this area at the center of Napa’s downtown commercial core.
Deed records were not found for the building to indicate original ownership. It is know that the Young Building Partnership purchased the building in 1977, and likely the property was purchased with others on Coombs Street, as indicted by deed records for 821 Coombs Street. The current owners of the building are Dickenson, Peatman & Fogarty et al.
The building at 801 Coombs Street/830 Randolph Street has had a wide variety of commercial tenants and uses throughout its history. A sampling of listings for the building in Napa City Directories is outlined below:
801 Coombs
1929: no listing
1935: Hagstrom’s Grocery
1942: Hagstrom’s Grocery
1949: Bono Lawrence Meats
1959: Herritt’s Floral and Gift Shop (Ray A. Herritt)
1967: Herritt’s Floral and Gift Shop
1975: Herritt’s Floral and Gift Shop
1986: vacant
803-807 Coombs
1929: Post Office
809 Coombs
1929: Young Building; F. E. Barkelew, dentist; W. M. Hughes, collections; Napa Business College; Napa County Merchants Credit Association; George Riley, chiropractor; W.H. Young manufacturing agent.
1935: Room 3: R. H. Albers, chiropractor. Room 10: Contra Costa Finance & Loan Co. and Napa County Merchants Association. Rooms 12, 13, 14: George Riley, chiropractor.
1942: Young Building: State Farm Insurance, Moderne Beauty Salon, Napa County Merchants Credit Association, O. T. Harper Insurance, County Farm Bureau, Napa National Farm Loan, George Riley Chiropractic.
1949: W. E. Wentworth, physician. Room 3: Camp Fire Girls. Room 5: W. H. Young Building Office. Room 6: County Farm Bureau. Room 7: D. T. Harper, insurance. Room 9: Helen G. Schwartz Beauty Shop. Room 10-11: U.S. Department of Agricultural Services. Room 12: George Riley, chiropractor.
1959: W. H. Young Building
1967: W. H. Young Building: Room 5: Napa Collection Service. Room 15: State Housing. Room 17: vacant.
1975: Dickerson, Peatman and Fogarty, lawyers.
1986: Dickerson, Peatman and Fogarty, lawyers.
2010: Dickerson, Peatman and Fogarty, lawyers.
CONTINUATION SHEET 801 Page Turnbull,
NRHP Criterion A/CRHR Criterion 1/Napa HRI Landmark Criterion a (Events, Patterns and Trends)
Constructed in 1920, the commercial building at 801 Coombs Street appears to be significant under this criterion for its association with events and trends important to the history of Napa. The building illustrates the continued growth of downtown as a commercial core in the early twentieth century. The building is located in Napa’s downtown commercial core, which developed in the late nineteenth and early twentieth century. The commercial development in this area took place around the time of construction of the subject property and the subject property contributed to the twentieth century development of the neighborhood. The building exemplifies the important trend in the early commercial development of the downtown area, and the building played a part in the general growth and development of the downtown. The building has sufficient associations with these trends to qualify under this criterion. Therefore, 801 Coombs Street appears to be significant under local register Criterion a. However, the property’s significance does not appear to rise to the level required for listing in the National Register under Criterion A or the California Register under Criterion 1.
NRHP Criterion B/CRHR Criterion 2/Napa HRI Landmark Criterion b (Person)
The commercial building at 801 Coombs Street does not appear to be significant for association with the lives of persons significant to our past. Throughout the building's history, it was a commercial building owned and occupied by a variety of commercial vendors, but there is no indication that any of the owners/tenants made significant contributions or were otherwise important to Napa's history. W.H. Young was a notable local businessman, but did not appear to make a significant enough contribution to Napa’s history to qualify for listing under this criterion. Therefore the building at 801 Coombs Street does not appear to be eligible under Criterion B/2/b.
NRHP Criterion C/CRHR Criterion 3/Napa HRI Landmark Criteria c,d,e (Design/Construction, Architects)
The commercial building at 801 Coombs exhibits Twentieth Century Commercial architectural styling, lacking a cornice and exhibiting a simplied form. Due to significant alterations, it is not a prime example of the style and other better examples exist throughout Napa. Additionally, research did not reveal the architect or builder of the building. Ultimately, it does not have the high architectural merit or association with a master architect necessary to be eligible for listing under Criterion C/3/c,d,e.
NRHP Criterion D/CRHR Criterion 4
Archival research provided no indication that the building has the potential to yield information important to the prehistory or history of Napa, California, or the nation. Therefore, it does not appear to be eligible for listing under Criterion D/4.
The building at 801 Coombs Street continues its original use as a commercial building and retains integrity of association. The building has never been moved and, so, retains integrity of location. When constructed, the building was located in the center of the commercial core of Napa’s downtown district. Today, this area continues to be characterized largely by commercial uses. However, the replacement of many historic commercial buildings in this area with parking lots has impaired the building setting and therefore, the building does not retain integrity of setting. The replacement of the building’s windows and the addition of stucco infill in areas of the first floor storefronts have resulted in a significant change in the appearance of the commercial facades. Other alterations have been minor and are limited to interior commercial remodels and normal repair to the roof. These changes in materials and detailing of the exterior facades have greatly impacted the original twentieth century commercial character and style, diminishing the building’s integrity of materials, design and workmanship. However, the building’s integrity of feeling is supported by the fact that it is still recognizable as an early twentieth century commercial building. Overall, the building does not possess sufficient historic integrity to convey its significance under local register Criteria a and c.
In order to be considered an eligible historic resource, a property must possess both significance and integrity. The building at 801 Coombs Street appears to be significant under Napa HRI Landmark Criterion a, however, the buildingdoes not retain sufficient integrity to convey its significance under this criterion. Due to lack of sufficient integrity, the building does not appear to be a historic resource. The building has therefore been assigned a California Historical Resource Status Code of 6Z (ineligible for National, California or local designation through survey evaluation).
Ancestry.com: Federal Census records, WWI and WWII draft cards, Public Records Indexes, etc.
City of Napa Assessor’s Office: deed records.
City of Napa Building Division: building permits.
 
    Coodley, Lauren and Paula Amen Schmitt. Napa: The Transformation of an American Town. San Francisco, CA: Arcadia Publishing, 2007.
Kilgallin, Anthony. Napa: An Architectural Walking Tour. San Francisco, CA: Arcadia Publishing, 2001. Napa city directories.
The Napa Valley Museum and Lin Weber. Napa. San Francisco, CA: Arcadia Publishing, 2004. Sanborn Fire Insurance maps (1886, 1891, 1901, 1910, 1924, 1949)
Weber, Lin. Old Napa Valley: The History to 1900. St. Helena, CA: Wine Ventures Publishing, 1998.
Weber, Lin. Roots of the Present: Napa Valley 1900 to 1950. St. Helena, CA: Wine Ventures Publishing, 2001.
 Primary façade of 830 Randolph Street, view east from Randolph Street. (Page & Turnbull 2010)
    Primary façade of 830 Randolph Street, view east from Randolph Street. (Page & Turnbull 2010)
          Page 1 of 3
B1. Historic name: Pacific Telephone and Telegraph Company
B2. Common name: N/A
B3. Original Use: Commercial B4. Present use: Commercial
*B5. Architectural Style: Twentieth Century Commercial
*NRHP Status Code 6Z
*Resource Name or # 811 Coombs Street (APN 003300005000)
*B6. Construction History: (Construction date, alterations, and date of alterations)
Circa 1905: building constructed. 1962: unspecified office alterations. 1981: commercial remodel. 1985: interior remodel. 1990: interior remodel. 1997: interior remodel and build out. Windows replaced with sliding aluminum sash at unknown date.
*B7. Moved? No Yes Unknown Date: Original Location:
*B8. Related Features:
The building at 811 Coombs Street is part of a complex of three parcels, including 801 Coombs Street/930 Randolph Street (APN 003300007000) and 821 Coombs Street (APN 003300001000).
 
    B9a. Architect: Unknown b. Builder: Unknown
*B10. Significance: Theme Downtown commercial development Area: Napa, California
Period of Significance ca. 1905 Property Type Commercial Applicable Criteria Napa HRI Landmark Criterion a (Discuss importance in terms of historical or architectural context as defined by theme, period, and geographic scope. Also address integrity)
The building at 811 Coombs Street was constructed circa 1905 as a 2-story commercial building on the west side of Coombs Street between Second and Third Streets in downtown Napa. The 1901 Sanborn Fire Insurance maps show that the subject property was vacant before the construction of the building at 811 Coombs Street. At this time, the property was part of a larger residential plot of land defined as Lot 4 and a portion of Lot 2 in Block 23 in the “Plan of Napa City” map dated 1853 and located in Book B of Deeds at the Napa County Assessor’s Office. The 1910 Sanborn map shows the building as a telephone office addressed as 118 Coombs Street. The subject building first appeared on the 1910 Sanborn map as a Telephone Office addressed as 118 Coombs Street. In 1910, the block surrounding the subject property (bounded by Coombs, Third, Randolph and Second Streets) included a 2-story circa 1880s dwelling, located to the west of the subject building; a 2-story dwelling along Randolph Street; a 2-story boarding house along Second Street; and a blacksmith shop, agricultural implements shop, auto garage and two unspecified commercial buildings to the north along Coombs Street.
(continued) Map
The subject building is closely related to the other commercial buildings on the block, which are connected via interior doors in various locations. Today, a scattering of commercial, residential, and institutional/religious buildings from the early twentieth century remain in the surrounding area, including the Napa County Courthouse to the east of 811 Coombs Street. Many of the historic buildings in the neighborhood have been demolished to create large parking lots in this area at the center of Napa’s downtown commercial core.
Deed records were not found to clarify the early title history of the building. Records indicate that Peter A. and Vernice Gasser purchased the building from Elaine Berglund in 1962. In 1970, Berglund sold to Lesley B. Hanson. The Young Building Partnership purchased the building in 1977. The current owners are Dickenson, Peatman & Fogarty et al.
The building had a consistent set of tenants and uses throughout its history, with more recent changes in the mid to late twentieth century. Selected listings for the building in Napa City Directories is outlined below:
1929: Pacific Telephone & Telegraph Company (F. E. Humpert, manager)
1935: Pacific Telephone & Telegraph Company (F. E. Humpert, manager)
1942: Pacific Telephone & Telegraph Company
1949: Pacific Telephone & Telegraph Company
1959: Gabel’s Selection Store (stationers, Joe G. and Vera E. Gabel)
1967: County Auditor
1975: County Auditor (main office at 821 Coombs Street location)
1986: D. D. Kays Uptown Bar & Grill
NRHP Criterion A/CRHR Criterion 1/Napa HRI Landmark Criterion a (Events, Patterns and Trends)
Constructed circa 1905, the commercial building at 811 Coombs Street appears to be significant for its association with events and trends important to the history of Napa. The building illustrates the continued growth of downtown as a commercial core in the early twentieth century. The building is located in Napa’s downtown commercial core, which developed in the late nineteenth and early twentieth century. Commercial development in this area took place around the time of construction of the subject property and the subject property contributed to the twentieth century development of the neighborhood. The building exemplifies the important trend in the early commercial development of the downtown area and the building played a part in the general growth and development of the downtown. The building has sufficient associations with these trends to set it apart as significant. Therefore, 811 Coombs Street appears to be significant under local register under Criterion a. The property’s significance does not appear to rise to the level required for listing in the National Register under Criterion A or the California Register under Criterion 1.
NRHP Criterion B/CRHR Criterion 2/Napa HRI Landmark Criterion b (Person)
The commercial building at 811 Coombs Street does not appear to be significant for association with the lives of persons significant to our past. Throughout the building's history, it was a commercial building owned and occupied by a variety of commercial vendors, but there is no indication that any of the owners/tenants made significant enough contributions to Napa's history to qualify under this criterion. Therefore, the building at 811 Coombs Street does not appear to be eligible under Criterion B/2/b.
The commercial building at 811 Coombs Street exhibits Twentieth Century Commercial architectural styling, lacking a cornice and exhibiting a simplified form. Due to significant alterations, the property is not a sufficiently remarkable example of a type, method, or style of architecture. Additionally, research did not reveal the architect or builder of the building. Ultimately, it does not have the high architectural merit or association with a master architect necessary to be eligible for listing under Criterion C/3/c,d,e.
Archival research provided no indication that the building has the potential to yield information important to the prehistory or history of Napa, California, or the nation. Therefore, it does not appear to be eligible for listing under Criterion D/4.
The building at 811 Coombs Street continues its original use as a commercial building and retains integrity of association with themes of commercial development. The building has never been moved and thus retains integrity of location. When constructed, the building was located in the center of the commercial core of Napa’s downtown district. Today, this area continues to be characterized by largely commercial uses. However, the replacement of many historic commercial buildings in this area with parking lots has impaired the building’s surroundings and therefore the building does not retain integrity of setting. The replacement of the building’s windows on the first floor storefronts and second story has resulted in a significant change to the appearance of the commercial facade. Other alterations have been minor and are limited to interior commercial remodels. The resulting change in the appearance and detailing of the exterior facade have impacted the building’s original Twentieth Century Commercial character and style, diminishing the building’s integrity of materials, design and workmanship. However, the building’s integrity of feeling is supported by the fact that the property is still recognizable as an early twentieth century commercial building. Overall, the building does not possess sufficient historic integrity to convey its significance under local register Criteria a and c.
In order to be considered an eligible historic resource, a property must possess both significance and integrity. The building at 811 Coombs Street appears to be significant under Napa HRI Landmark Criteria a, however, the building does not retain sufficient integrity to convey its significance under this criteria. Due to lack of sufficient integrity, the building does not appear to be a historic resource. The building has therefore been assigned a California Historical Resource Status Code of 6Z (ineligible for National, California or local designation through survey evaluation).
Ancestry.com: Federal Census records, WWI and WWII draft cards, Public Records Indexes, etc.
City of Napa Assessor’s Office: deed records.
City of Napa Building Division: building permits.
Coodley, Lauren and Paula Amen Schmitt. Napa: The Transformation of an American Town. San Francisco, CA: Arcadia Publishing, 2007.
Kilgallin, Anthony. Napa: An Architectural Walking Tour. San Francisco, CA: Arcadia Publishing, 2001. Napa city directories.
The Napa Valley Museum and Lin Weber. Napa. San Francisco, CA: Arcadia Publishing, 2004. Sanborn Fire Insurance maps (1886, 1891, 1901, 1910, 1924, 1949)
Weber, Lin. Old Napa Valley: The History to 1900. St. Helena, CA: Wine Ventures Publishing, 1998.
Weber, Lin. Roots of the Present: Napa Valley 1900 to 1950. St. Helena, CA: Wine Ventures Publishing, 2001.
 
    Page 1 of 3
B1. Historic name: N/A
B2. Common name: N/A
B3. Original Use: Commercial B4. Present use: Commercial
*B5. Architectural Style: Twentieth Century Commercial
*NRHP Status Code 5S3
*Resource Name or # 821 Coombs Street (APN 003300001000)
*B6. Construction History: (Construction date, alterations, and date of alterations)
1915: building constructed. 1961: roof replaced. 1972: unspecified alterations. 1977: roof replaced. 1983: commercial interior remodel. 1985: commercial interior remodel. 1986: awning installed. 2000: awning installed.
*B7. Moved? No Yes Unknown Date: Original Location:
*B8. Related Features:
The building at 821 Coombs Street is part of a complex of three parcels, including 801 Coombs Street/930 Randolph Street (APN 003300007000) and 811 Coombs Street (APN 003300005000).
 
    B9a. Architect: Unknown b. Builder: Unknown
*B10. Significance: Theme Downtown commercial development Area: Napa, California
Period of Significance 1915 Property Type Commercial Applicable Criteria Napa HRI Landmark Criteria a, c (Discuss importance in terms of historical or architectural context as defined by theme, period, and geographic scope. Also address integrity)
The building at 821 Coombs Street was constructed in 1915 as a 1-story commercial building on the west side of Coombs Street between Second and Thirds Streets in downtown Napa. The 1910 Sanborn Fire Insurance maps show that prior to the construction of the current building, the subject parcel was occupied by an auto garage (addressed as 114 Coombs Street) and a structure (likely a porch on the north side of the telephone office at 118 Coombs Street) selling agricultural implements (addressed as 116 Coombs Street). The property was part of a larger residential plot of land defined as Lot 4 and a portion of Lot 2 in Block 23 in the “Plan of Napa City” map dated 1853 and located in Book B of Deeds at the Napa County Assessor’s Office. The subject building first appears on the 1924 Sanborn map as a welding and auto repair shop addressed as 821 Coombs Street. The building is closely related to the other commercial buildings on the block, and it abuts 1218 Third Street at the rear. The 1949 Sanborn map shows that the subject block bounded by Coombs, Third, Randolph and Second Streets contained several commercial buildings with auto and agricultural related uses. Today, a scattering of commercial, residential, and institutional/religious buildings from the early twentieth century surround the subject parcel, including the Napa County Courthouse to the east. Many of the historic buildings in this area have been demolished to create large parking lots at the center of Napa’s downtown commercial core. Map
Deed records indicate that the original owners of the building were W.H. and Emma H. Young. The Youngs sold the building to Edith Mildred Thibaut in 1920, who sold it to Homer G. Bishop in 1928. Elaine Berglund purchased the property at an undocumented date in the mid twentieth century. Berglund was noted as the owner on building permits from the early 1960s, and likely had purchased the building prior to that time. Berglund sold the building to Lesley B. Hanson in 1970 and in 1977 Hanson sold the building to the Young Building Partnership, holders of many properties in Napa. The current owner is Dickenson, Peatman & Fogarty et al.
The building had a wide variety of commercial tenants and uses throughout its history. A sampling of listings for the building in Napa City Directories is outlined below:
1929: Fornachon Machine Shop.
1935: vacant.
1942: Berglund Tractor & Equipment Company.
1949: N.F Whitehill Furniture (Nelson F. Whitehill).
1959: Napa Recreation (billiards).
1967: Chat & Chen Restaurant (Ralph Hosick) and Napa Recreation Billiards (William Vonder Haar).
1975: County Auditor Office.
1986: The Arrangement Beauty Salon (Terry Brown, Lena Beal and Wendy Blossom).
2010: The Arrangement Beauty Salon
NRHP Criterion A/CRHR Criterion 1/Napa HRI Landmark Criterion a (Events, Patterns and Trends)
Constructed in 1915, the commercial building at 821 Coombs Street appears to be significant for its association with events and trends important to the history of Napa. The building illustrates the continued growth of downtown as a commercial core in the early twentieth century. The building is located in Napa’s downtown commercial core, which developed in the late nineteenth and early twentieth century. 821 Coombs Street exemplifies important trends in the early commercial development of the neighborhood, and played a part in the general growth and development of Downtown Napa. Therefore, 821 Coombs Street appears to be eligible for listing in the local register under Criterion a. The significance of the property does not rise to the level of significance required for listing in the National Register under Criterion A or the California Register under Criterion 1.
NRHP Criterion B/CRHR Criterion 2/Napa HRI Landmark Criterion b (Person)
The commercial building at 821 Coombs Street does not appear to be significant for association with the lives of persons significant to our past. Throughout the building's history, it was a commercial building owned and occupied by a variety of commercial vendors, but there is no indication that any of the owners/tenants made significant contributions or were otherwise important to Napa's history. Therefore, the building at 821 Coombs Street does not appear to be eligible under Criterion B/2/b.
NRHP Criterion C/CRHR Criterion 3/Napa HRI Landmark Criteria c,d,e (Design/Construction, Architects)
The commercial building at 821 Coombs Street is an excellent example of a Twentieth Century Commercial building in downtown Napa. The building was constructed during a period of commercial development in the neighborhood in the late nineteenth and early twentieth centuries, and is significant as an example of this building type and architectural style— an early twentieth century, 1-story commercial building. Its simple cornice; Classical Revival pilasters; divided, glazed transom and recessed vestibule are hallmarks of the Twentieth Century Commercial style. 821 Coombs Street therefore appears to be eligible for listing in the local register under Criterion c. Research did not reveal the architect or builder of the building such that would warrant consideration of the building as work of a master under local Criterion d, and the building is not a rare example and therefore not eligible under local Criterion e. The significance of the property does not rise to the level of significance required for listing in the National Register under Criterion C or the California Register under Criterion 3.
NRHP Criterion D/CRHR Criterion 4
Archival research provided no indication that the building has the potential to yield information important to the prehistory or history of Napa, California, or the nation. Therefore, it does not appear to be eligible for listing under Criterion D/4.
The building at 821 Coombs Street continues its original use as a 1-story commercial building and retains integrity of association with commercial development themes. The building has never been moved and thus retains integrity of location. When constructed, the building was located in the center of the commercial core of Napa’s downtown district. Today, this area continues to be characterized by largely commercial uses. However, the replacement of many historic commercial buildings in this area with parking lots has impaired the building’s surroundings and therefore the building does not retain integrity of setting. The building has undergone very few changes over time, limited to interior commercial remodels, the installation of an awning, and normal repair to the roof. The overall character, scale, massing and style of the original Twentieth Century Commercial building are evident. Therefore, the building retains integrity of design, materials and workmanship. Additionally, the building’s integrity of feeling is supported by the fact that the property is still recognizable as an early twentieth century commercial building. Overall, the building possesses sufficient historic integrity to convey its significance under local register Criteria a and c.
The building at 821 Coombs Street appears to be eligible for listing in the local register as a Landmark Property under Napa HRI Landmark Criteria a and c. The building retains sufficient historic integrity to convey its significance under these criteria. The building was therefore assigned a California Historical Resource Status Code of 5S3 (appears to be individually eligible for local listing or designation through survey evaluation).
Ancestry.com: Federal Census records, WWI and WWII draft cards, Public Records Indexes, etc.
City of Napa Assessor’s Office: deed records.
City of Napa Building Division: building permits.
Coodley, Lauren and Paula Amen Schmitt. Napa: The Transformation of an American Town. San Francisco, CA: Arcadia Publishing, 2007.
Kilgallin, Anthony. Napa: An Architectural Walking Tour. San Francisco, CA: Arcadia Publishing, 2001. Napa city directories.
The Napa Valley Museum and Lin Weber. Napa. San Francisco, CA: Arcadia Publishing, 2004.
Sanborn Fire Insurance maps (1886, 1891, 1901, 1910, 1924, 1949)
Weber, Lin. Old Napa Valley: The History to 1900. St. Helena, CA: Wine Ventures Publishing, 1998.
Weber, Lin. Roots of the Present: Napa Valley 1900 to 1950. St. Helena, CA: Wine Ventures Publishing, 2001.
 
    Page 1
B1. Historic name: Woolworth's B2. Common name: Inti
B3. Original Use: Commercial
*NRHP Status Code 5S3
*Resource Name or # 1139 First Street (APN: 003214012000)
B4. Present use: Commercial
*B5. Architectural Style: 20th Century Commercial, Art Deco
*B6. Construction History: (Construction date, alterations, and date of alterations)
1920: Constructed. 1963: New basalite block party wall constructed between subject building and neighboring 1141 First Street, building remodeled. 1964: New construction of storefront and marquee, new awning installed. 1965, 1969, 1971: New signs installed. 1974: Building reroofed. 2008: Seismic retrofit.
*B7. Moved? No Yes Unknown Date: Original Location:
*B8. Related Features: None
B9a. Architect: Unknown
b. Builder: Unknown
*B10. Significance: Theme Downtown commercial development Area: Napa, California
Period of Significance 1920 Property Type Commercial Applicable Criteria Napa HRI Landmark Criteria a, c (Discuss importance in terms of historical or architectural context as defined by theme, period, and geographic scope. Also address integrity)
The building at 1139 First Street was constructed in 1920 and is adjoined and identical to the building to the immediate west (1141 First Street). The subject building appears to have first been occupied by a grocery and meat store, according to the 1924 Sanborn Fire Insurance map. By 1929, F.W. Woolworth Co. was located in the building. The 1949 Sanborn map shows 1139 and 1141 First Street as one large conjoined shop space, suggesting that Woolworth's occupied both storefronts.
Prior to 1964, the property appears to have been owned by the Roman Catholic Archbishop or San Francisco, and prior to 1962, the Roman Catholic Bishop of Santa Rosa. Earlier owners were untraceable. In 1964, the property was sold to the current owners, Wesley N. and Eleanor L. Meyer (now Meyer Associates), and a number of alterations were made to the building, including remodeling and the construction of a new party wall separating the interior from that of 1141 First Street. Woolworths appears to have closed during this change in ownership and by 1967, city directories indicate that Spinning Wheel Shoes occupied the retail space. In 1986, a shoe store was still present, though it was known as Shoe Works.
 
    CONTINUATION SHEET 2 3 # 1139 Turnbull, Significance
NRHP Criterion A/CRHR Criterion 1/Napa HRI Landmark Criterion a (Events, Patterns and Trends)
Constructed in 1920, the commercial building at 1139 First Street appears to be significant for association with events important to the broad patterns of history. The building is located in the heart of downtown Napa, which has always been primarily commercial in nature. This commercial building was constructed at the end of the initial period of commercial development of the area, and displays an important trend in the growth and development of the downtown shopping district. The building, along with its identical neighbor at 1141 First Street, is an excellent example of an early twentieth century commercial building in downtown Napa. 1139 First Street appears to be significant under Napa HRI Landmark Criterion a. However, the significance of the building does not rise to the level of significance required to be eligible for listing in the National Register or California Register under Criterion A/1.
NRHP Criterion B/CRHR Criterion 2/Napa HRI Landmark Criterion b (Person)
The commercial building at 1139 First Street does not appear to be significant for association with the lives of persons significant to our past. For much of the building's early history, it was occupied by Woolworth's, which, at the time was a national retailer. The Napa store cannot claim any direct connections with significant figures like Woolworth's founder, Frank W. Woolworth. Additionally, none of the store managers listed in city directories – G.I. Graves or R.C. Tilley - appear to be historically significant people. Deed records show only the Archbishopric and Bishopric of San Francisco and Santa Rosa, respectively, owning the property, with no connection to specific people within these organizations (it is highly unlikely that the owner was the actual Archbishop or Bishop, but rather the Church-affiliated party representing them). Therefore, the property does not appear to qualify for listing in the National or California registers or for local listing under Criterion B/2/b.
NRHP Criterion C/CRHR Criterion 3/Napa HRI Landmark Criteria c,d,e (Design/Construction, Architects)
This commercial building exhibits early twentieth-century commercial styling that includes Art Deco overtones in the geometric brick work of its frieze. The building has undergone alterations that are evident from building permit records. In 1964, the original storefront was removed and replaced with a recessed storefront and tapered columns. Despite these alterations, the building is still recognizable as an early twentieth century commercial building with Art Deco overtones, such that it appears to be significant under Napa HRI Landmark Criterion c as an example of a type. Research did not reveal the architect or builder of the building and it is not a rare example and therefore does not appear to be significant under local criterion d or e. The significance of the building does not rise to the level necessary qualify for listing in the National or California registers or for local listing under Criterion C/3.
NRHP Criterion D/CRHR Criterion 4
Archival research provided no indication that the building has the potential to yield information important to the prehistory or history of Napa, California, or the nation. Therefore, it does not appear to be eligible for listing in the National or California registers under Criterion D/4.
The building at 1139 First Street retains its original use as a commercial property housing a retail shop space. Therefore, it retains integrity of association. The building has never been moved and retains integrity of location. Located in the primarily commercial downtown core, the building's surroundings have generally remained the same over the years and so the property retains integrity of setting. The building has been altered, including major changes to the storefront, however these changes have not obscured the Art Deco detailing of the building and therefore, it retains integrity of materials and workmanship. The overall design intent and related functionality of the building is evident and so integrity of design is retained. Integrity of feeling is supported by the fact that the property is still recognizable as an early twentieth-century commercial building. Overall, the building retains sufficient historic integrity to convey its significance.
The building at 1139 First Street appears to be eligible for listing in the local register as a Landmark Property under Napa HRI Landmark Criteria a and c. The building retains sufficient historic integrity to convey its significance under this criterion. The building was therefore assigned a California Historical Resource Status Code of 5S3 (appears to be individually eligible for local listing or designation through survey evaluation).
Page 3 of 3 Name # recorder) 1139 First Street Recorded by Page & Turnbull, Inc. 9/1/2010
Ancestry.com: Federal Census records, WWI and WWII draft cards, Public Records Indexes, etc.
City of Napa Assessor’s Office: deed records.
City of Napa Building Division: building permits.
Coodley, Lauren and Paula Amen Schmitt. Napa: The Transformation of an American Town. San Francisco, CA: Arcadia Publishing, 2007.
Kilgallin, Anthony. Napa: An Architectural Walking Tour. San Francisco, CA: Arcadia Publishing, 2001. Napa city directories.
The Napa Valley Museum and Lin Weber. Napa. San Francisco, CA: Arcadia Publishing, 2004. Sanborn Fire Insurance maps (1886, 1891, 1901, 1910, 1924, 1949)
Weber, Lin. Old Napa Valley: The History to 1900. St. Helena, CA: Wine Ventures Publishing, 1998.
Weber, Lin. Roots of the Present: Napa Valley 1900 to 1950. St. Helena, CA: Wine Ventures Publishing, 2001.
Photographs:
Primary façade of 1139 First Street, view south from First Street. (Page & Turnbull 2010)
 
    Page 1
B1. Historic name: None
B2. Common name: None
B3. Original Use: Commercial
*NRHP Status Code 5S3
*Resource Name or # 1141 First (APN: 003214002000)
B4. Present use: Commercial
*B5. Architectural Style: 20th Century Commercial, Art Deco
*B6. Construction History: (Construction date, alterations, and date of alterations)
1920: Constructed. 1965, 1969: Signage installed. 1971: Interior and exterior remodel, signage installed. 1989: Reroofed. 2005: Interior demolition and structural retrofit.
*B7. Moved? No Yes Unknown Date: Original Location:
*B8. Related Features: None
B9a. Architect: Unknown b. Builder: Unknown
*B10. Significance: Theme Downtown commercial development Area: Napa, California Period of Significance 1920 Property Type Commercial Applicable Criteria Napa HRI Landmark Criteria a, c (Discuss importance in terms of historical or architectural context as defined by theme, period, and geographic scope. Also address integrity)
The building at 1141 First Street was constructed in 1920 and is adjoined and identical to the building to the immediate east (1139 First Street). The subject building appears to have first been occupied by a 5 & 10 cent store, according to the 1924 Sanborn Fire Insurance map. This store may have been the F.W. Woolworth Co., which was known to have been located in the neighboring shop (1139 First Street) as early as 1929. The 1949 Sanborn map shows 1139 and 1141 First Street as one large conjoined shop space, suggesting that Woolworth's occupied both storefronts for at least part of its tenure at this location.
When the building was constructed, the property was owned by Leslie and Lottie Brisbin, who had purchased it in 1911. According the census records, Leslie Brisbin was born in Canada around 1864, and his wife Lottie was born in California in 1874. In 1910, Leslie was a saloon keeper, but by 1920 had become a carpenter and house builder. In 1930, he was the manager of a gas station. None of his business ventures appear to have been associated with the subject property at 1141 First Street. Leslie Brisbin died in 1943 and Lottie Brisbin retained the property until her death in 1955, at which time she willed it to her daughter, Flossie Grigsby. In 1930, Flossie was a music teacher and her husband, John W. Grigsby, was a drayman for a transfer company. He was likely a member of the prominent Grigsby family descended from one of Napa's earliest settlers, Captain John Grigsby.
 
    In 1963, Flossie Grigsby sold the property to Marion Chubb. After this time, the building was occupied by the Napa Music store in 1967, which was run by Arthur and Dolores R. Kunkel. (continued)
B11. HP6. 1-3 Map
CONTINUATION SHEET 2 of 3 Name or # (Assigned by recorder) 1141 First Street Recorded Page & Turnbull, Inc. 9/3/2010
*B10. Significance
In 1972, the building was purchased by the Napa Community Redevelopment Agency and by 1975, Marlene's Feminine Apparel, operated by Lewis Wescher, was located in the building, and remained in operation through 1986.
NRHP Criterion A/CRHR Criterion 1/Napa HRI Landmark Criterion a (Events, Patterns and Trends)
Constructed in 1920, the commercial building at 1141 First Street appears to be significant for association with events important to the broad patterns of history. The building is located in the heart of downtown Napa, which has always been primarily commercial in nature. This commercial building was constructed at the end of the initial period of commercial development of the area, and displays an important trend in the growth and development of the downtown shopping district. The building, along with its identical neighbor at 1139 First Street, is an excellent example of an early twentieth century commercial building in downtown Napa. 1139 First Street appears to be significant under Napa HRI Landmark Criterion a. However, the significance of the building does not rise to the level of significance required to be eligible for listing in the National Register or California Register under Criterion A/1.
NRHP Criterion B/CRHR Criterion 2/Napa HRI Landmark Criterion b (Person)
The commercial building at 1141 First Street does not appear to be significant for association with the lives of persons significant to our past. For much of the building's early history, it was occupied by Woolworth's, which, at the time was a national retailer. The Napa store cannot claim any direct connections with significant figures like Woolworth's founder, Frank W. Woolworth. Additionally, none of the store managers listed in city directories – G.I. Graves or R.C. Tilley - appear to be historically significant people. The property owners named by deed records do not appear to be significant historical figures. Most of the early owners seemed to be working or middle class citizens with no outstanding contributions to their names. The Grigsby's possible connection with the prominent Grigsby family of Napa is not confirmed, nor would it be substantial enough to prove a significant association with this property. Therefore, the property does not appear to qualify for listing in the National or California registers or for local listing under Criterion B/2/b.
NRHP Criterion C/CRHR Criterion 3/Napa HRI Landmark Criteria c,d,e (Design/Construction, Architects)
This commercial building exhibits early twentieth-century commercial styling that includes Art Deco overtones in the geometric brick work of its frieze. The building has undergone alterations that are evident from building permit records. In 1971, the original storefront was removed and replaced. Despite these alterations, the building is still recognizable as an early twentieth century commercial building with Art Deco overtones, such that it appears to be significant under Napa HRI Landmark Criterion c as an example of a type. Research did not reveal the architect or builder of the building and it is not a rare example and therefore does not appear to be significant under local criterion d or e. The significance of the building does not rise to the level necessary qualify for listing in the National or California registers or for local listing under Criterion C/3.
NRHP Criterion D/CRHR Criterion 4
Archival research provided no indication that the building has the potential to yield information important to the prehistory or history of Napa, California, or the nation. Therefore, it does not appear to be eligible for listing in the National or California registers under Criterion D/4.
The building at 1141 First Street, retains its original use as a commercial property housing a retail shop space. Therefore, it retains integrity of association. The building has never been moved and retains integrity of location. Located in the primarily commercial downtown core, the building's surroundings have generally remained the same over the years and so the property retains integrity of setting. The building has been altered, including major changes to the storefront, however these changes have not obscured the Art Deco detailing of the building and therefore, it retains integrity of materials and workmanship. The overall design intent and related functionality of the building is evident and so integrity of design is retained. Integrity of feeling is supported by the fact that the property is still recognizable as an early twentieth-century commercial building. Overall, the building retains sufficient historic integrity to convey its significance.
The building at 1141 First Street appears to be eligible for listing in the local register as a Landmark Property under Napa HRI Landmark Criteria a and c. The building retains sufficient historic integrity to convey its significance under this criterion. The building was therefore assigned a California Historical Resource Status Code of 5S3 (appears to be individually eligible for local listing or designation through survey evaluation).
Trinomial
Page 3 of 3 Resource Name or # (Assigned by recorder) 1141 First Street
*Recorded by Page & Turnbull, Inc. 9/3/2010 Continuation Update
*B12. References (cont.):
Ancestry.com: Federal Census records, WWI and WWII draft cards, Public Records Indexes, etc.
City of Napa Assessor’s Office: deed records.
City of Napa Building Division: building permits.
Coodley, Lauren and Paula Amen Schmitt. Napa: The Transformation of an American Town. San Francisco, CA: Arcadia Publishing, 2007.
Kilgallin, Anthony. Napa: An Architectural Walking Tour. San Francisco, CA: Arcadia Publishing, 2001. Napa city directories.
The Napa Valley Museum and Lin Weber. Napa. San Francisco, CA: Arcadia Publishing, 2004. Sanborn Fire Insurance maps (1886, 1891, 1901, 1910, 1924, 1949)
Weber, Lin. Old Napa Valley: The History to 1900. St. Helena, CA: Wine Ventures Publishing, 1998. Weber, Lin. Roots of the Present: Napa Valley 1900 to 1950. St. Helena, CA: Wine Ventures Publishing, 2001.
Photographs:
Primary façade of 1141 First Street, view south from First Street. (Page & Turnbull 2010)
 
    Page 1
B1. Historic name: Short's Flower Shop
B2. Common name: Wildcat
*NRHP Status Code 6Z
*Resource Name or # 1210 First Street (APN: 003164006000)
B3. Original Use: Commercial B4. Present use: Commercial
*B5. Architectural Style: 20th Century Commercial
*B6. Construction History: (Construction date, alterations, and date of alterations)
1925: Constructed. 1967: Reroofed. 1968: Unspecified alterations. 1969: Three signs installed. 1974: Unspecified alterations, new lighting installed. 1981: Fire repairs. 1992: Dressing room partitions installed. Unknown: Storefront replaced (1950s/60s), clerestory filled in, awning installed.
*B7. Moved? No Yes Unknown Date: Original Location:
*B8. Related Features: None.
B9a. Architect: Unknown
b. Builder: Unknown
*B10. Significance: Theme Downtown commercial development Area: Napa, California
Period of Significance 1925 Property Type Commercial Applicable Criteria N/A (Discuss importance in terms of historical or architectural context as defined by theme, period, and geographic scope. Also address integrity)
The commercial building at 1210 First Street was likely constructed in 1925. That year, the property was purchased from Nathan F. Coombs by Julia and Harry M. Short. Nathan F. Coombs was the grandson of Nathan Coombs, who came to Napa in 1845 and is known as one of the city's founders. He owned much of the land where downtown Napa is now located, and was responsible for laying out the original town site there in 1848. It is likely that his grandson's ownership of the subject property indicated an inheritance from him.
The Shorts opened a flower shop in the building called Short's Flower Shop. The business remained until 1967, although Julia Short died in 1936 and the property was sold at that time. The new owners, Laura Treadway and Clarence N. and C. Alice Riggins, continued operation of the flower shop at the address.
In 1968, the property was purchased by Harry and Betty Kramar. Short's Flower Shop was closed and Kramar's Shoes took its place. Kramar's ownership and business continued through at least the late 1980s.
(continued)
B11. commercial building Map
 
    CONTINUATION SHEET 2 of 3 Name # recorder) 1210 Page Turnbull, 9/18/2010
NRHP Criterion A/CRHR Criterion 1/Napa HRI Landmark Criterion a (Events, Patterns and Trends)
Constructed in 1925, the commercial building at 1210 First Street does not appear to be significant for association with broad patterns of history in Napa. The building is located in the downtown core, which has always been primarily commercial in nature This commercial building was constructed some time after the initial development of the area. While it played a part in the general growth and development of the downtown shopping district, it does not strongly contribute to any building booms or trends of major growth. The building lacks the sufficient or specific associations with these trends needed to set it apart as significant. Therefore, 1210 First Street does not appear to qualify for listing in the National or California registers or for local listing under Criterion A/1/a.
NRHP Criterion B/CRHR Criterion 2/Napa HRI Landmark Criterion b (Person)
The commercial building at 1210 First Street does not appear to be eligible for association with the lives of persons significant to Napa's past. Since the building's construction, only the Short and Kramar families have owned the property. Although both the Shorts and Kramars appear to have been successful business people and citizens, they do not appear to have any accomplishments or contributions that are significant to Napa's history. Therefore, the property does not appear to qualify for listing in the National or California registers or for local listing under Criterion B/2/b.
NRHP Criterion C/CRHR Criterion 3/Napa HRI Landmark Criteria c,d,e (Design/Construction, Architects)
This commercial building exhibits early twentieth-century commercial styling. It is a fair, but not prime example of the building type and style of which there are few other examples in Napa, many having been removed during redevelopment. The building has undergone alterations to the storefront, including the infill of the clerestory, which has diminished its physical integrity. Only the upper portion of the facade, adorned with decorative brick work, indicates the age and style of the building. Research did not reveal the architect or builder of the building. Ultimately, it does not have high architectural merit or association with a master architect to qualify for listing in the National or California registers or for local listing under Criterion C/3/c,d,e.
NRHP Criterion D/CRHR Criterion 4
Archival research provided no indication that the building has the potential to yield information important to the prehistory or history of Napa, California, or the nation. Therefore, it does not appear to be eligible for listing in the National or California registers under Criterion D/4.
The building at 1210 First Street, retains its original use as a commercial property housing a retail shop. Therefore, the building retains integrity of association. The building has never been moved and retains integrity of location. Located in the primarily commercial downtown core, the building's surroundings have generally remained the same over the years and so the property's integrity of setting is retained. The building's storefront has been altered and therefore does not retain integrity of materials or workmanship. However, the basic functionality of the building remains unaltered and so integrity of design is retained. The building has undergone several alterations that have obscured the appearance of the building as an early twentieth-century commercial building and therefore integrity of feeling is not retained. Overall, the building does not retain historic integrity.
1210 First Street does not appear eligible for listing in the national, state, or local registers under any criteria, and has therefore been assigned the California Historical Resource Status Code of 6Z, indicating that it has been found ineligible for National, California or local designation through survey evaluation.
Page 3 of Name recorder) 1210 First Street Recorded Page & Turnbull, Inc.
Ancestry.com: Federal Census records, WWI and WWII draft cards, Public Records Indexes, etc.
City of Napa Assessor’s Office: deed records.
City of Napa Building Division: building permits.
 
    Coodley, Lauren and Paula Amen Schmitt. Napa: The Transformation of an American Town. San Francisco, CA: Arcadia Publishing, 2007.
Kilgallin, Anthony. Napa: An Architectural Walking Tour. San Francisco, CA: Arcadia Publishing, 2001. Napa city directories.
The Napa Valley Museum and Lin Weber. Napa. San Francisco, CA: Arcadia Publishing, 2004. Sanborn Fire Insurance maps (1886, 1891, 1901, 1910, 1924, 1949)
Weber, Lin. Old Napa Valley: The History to 1900. St. Helena, CA: Wine Ventures Publishing, 1998. Weber, Lin. Roots of the Present: Napa Valley 1900 to 1950. St. Helena, CA: Wine Ventures Publishing, 2001.
State California
Page 1 of 3
B1. Historic name: Migliavacca Building
B2. Common name: Migliavacca Building
B3. Original Use: Commercial
*NRHP Status Code 5S3
*Resource Name or # 1227-1245 First Street (APN: 003211001000)
 
    B4. Present use: Commercial
*B5. Architectural Style: 20th Century Commercial
*B6. Construction History: (Construction date, alterations, and date of alterations)
1916: Constructed. 1983: Interior remodel. 1989: Fire repairs. 2002: Seismic retrofit. 2006: ADA restroom remodel.
*B7. Moved? No Yes Unknown Date: Original Location:
*B8. Related Features: None.
B9a. Architect: Unknown b. Builder: Unknown
*B10. Significance: Theme Downtown commercial development Area: Napa, California
Period of Significance 1916 Property Type Commercial Applicable Criteria Napa HRI Landmark Criteria b, c (Discuss importance in terms of historical or architectural context as defined by theme, period, and geographic scope. Also address integrity)
The Migliavacca Building at 1227-1245 First Street was constructed in 1916. The parcel on which it stands was occupied by two small houses in 1910, but in 1912 was purchased by the G. Migliavacca Investment Co. Guiseppe Migliavacca was an Italian immigrant who came to Napa in 1858 and became one of the area's wine industry pioneers. In 1874, he constructed the area's first large-capacity winery, with a 10,000-gallon capacity. Migliavacca resided in the Migliavacca Mansion at 1475 Fourth Street, which was built in 1895, and also constructed a better-known Migliavacca Building at the corner of Brown and First streets, which was designed by prominent local architect Luther Turton and built by leading stone mason and builder J.B. Newman. The 1904 Migliavacca building housed a variety of shops and department stores until it was demolished in 1973 as part of downtown redevelopment efforts.
The subject building – the 1916 Migliavacca Building – originally had four storefronts. In 1924, one of the shops was vacant, but the others housed a boot and shoe store (1233 First Street), a millinery shop (1239 First Street), and a bakery (1245 First Street). In 1929, the building housed the Sylvia-Vonne Beauty Salon, Schalow's Shoe Store, the Hippodrome Sweet Shop, and Mrs. G.C. Lehman's Delicatessen. In the mid-1930s, all of these businesses remained with the exception of the beauty salon, which was replaced by G.A. Phillips women's furnishings store. In 1942, G.A. Philips was replaced by E. G. Wilson's electrical appliance shop, and the sweet shop became a restaurant run by Kenneth L. Wagner. Although the shop at 1245 First Street remained under the Lehman name, it appears to have been taken over by a relative (O.W. Lehman) and shifted from a deli to a bakery.
(continued)
Trinomial
Page 2 of 3 Resource Name or # (Assigned by recorder) 1227-1245 First Street Recorded by Page & Turnbull, Inc. 9/16/2010 Continuation Update
By 1949, Jay Vee Women's Clothing and P.M. Verzic's bakery joined Schalow's Shoes and the K.L. Wagner Restaurant in the building, and by the 1950s the building housed Jay Vee Women's Clothing, Schalow's Shoes and the Sun Lite Bakery. In 1967, Baker's Stationary (1227 First Street), Schalow's Shoes (1233 First Street), Jack and Jill Children's Clothes (1239 First Street), and Sared's Restaurant (1245 First Street) were located in the building. In 1975, the restaurant was replaced by Cerro La Buta Restaurant. Finally, in 1986, Baker's Stationary remained and was accompanied by Dee's Fantasia clothing and the Curb Side Cafe, which remains in this location today.
The Migliavacca Investment Co. still owned the building in 1989, but by the early 2000s it was purchased by the current owner, Tarig O. Azruei and DBA Curbside Mediterranean.
NRHP Criterion A/CRHR Criterion 1/Napa HRI Landmark Criterion a (Events, Patterns and Trends)
Constructed in 1916, the commercial building at 1227-1245 First Street does not appear to be significant for association with broad patterns of history in Napa. The building is located in the downtown core, which has always been primarily commercial in nature This commercial building was constructed some time after the initial development of the area. While it played a part in the general growth and development of the downtown shopping district, it was built ten years after the 1906 earthquake and so does not strongly contribute to trend of reconstruction, and was built during World War I, which was not a time of major growth in Napa. The building lacks the sufficient or specific associations with these trends necessary to set it apart as significant. Therefore, 1227-1245 First Street does not appear to rise qualify for listing in the National or California registers or for local listing under Criterion A/1/a.
NRHP Criterion B/CRHR Criterion 2/Napa HRI Landmark Criterion b (Person)
The commercial building at 1227-1245 First Street appears to be eligible for association with the lives of persons significant to Napa's past. For most of the building's history, it was owned by Guiseppe Migliavacca, who was an early citizen of Napa, a pioneer of the wine industry, and a real estate holder. He may be better known for the original Migliavacca Building (1904) at Brown and First streets, however, it no longer stands. Guiseppe Migliavacca is also associated with the Migliavacca Mansion, however, the subject building appears to be the only remaining commercial building associated with Migliavacca and follows the same concept of housing multiple retail shops as the 1904 Migliavacca Building. For this association, the property appears to rise to the level of significance necessary to qualify for local listing under Criterion b. The significance of the building does not rise to the level necessary for listing in the National or California registers under Criterion B/2.
NRHP Criterion C/CRHR Criterion 3/Napa HRI Landmark Criteria c,d,e (Design/Construction, Architects)
This commercial building exhibits early twentieth-century commercial styling. It is a prime example of a building type and style of which there are few other comparable examples in Napa, many having been removed during redevelopment, such as the 1904 Migliavacca Building. The building has undergone few alterations and has good physical integrity, making it an intact and aesthetically enriching element of the downtown streetscape. Research did not reveal the architect or builder of the building, but ultimately, the building has the high architectural merit necessary to qualify for local listing under Criterion c. It does not appear to rise to the level of significance required for listing in the National or California registers under Criterion C/3.
NRHP Criterion D/CRHR Criterion 4
Archival research provided no indication that the building has the potential to yield information important to the prehistory or history of Napa, California, or the nation. Therefore, it does not appear to be eligible for listing in the National or California registers under Criterion D/4.
The building at 1227-1245 First Street, retains its original use as a commercial property housing multiple retail shop spaces. Therefore, the building retains integrity of association. The building has never been moved and retains integrity of location. Located in the primarily commercial downtown core, the building's surroundings have generally remained the same over the years and so retains integrity of setting. The building has not been altered and retains integrity of materials, design, and workmanship. Integrity of feeling is supported by the fact that the property is still recognizable as an early twentieth-century commercial building. Overall, the building retains sufficient historic integrity to convey its significance.
1227-1245 First Street does not appear eligible for listing in the national or state registers, but does appear individually eligible for local listing under Napa HRI Landmark Criteria b and c, and has therefore been assigned a the California Historical Resource Status Code of 5S3, indicating that it appears to be individually eligible for local listing or designation through survey evaluation. The significance of the property does not appear to rise to the level necessary to qualify for listing in the national or state registers.
Page 3 of 3 Name # (Assigned by recorder) 1227-1245 First Street Recorded Page & Turnbull, Inc. 9/16/2010
Ancestry.com: Federal Census records, WWI and WWII draft cards, Public Records Indexes, etc.
City of Napa Assessor’s Office: deed records.
City of Napa Building Division: building permits.
 
    Coodley, Lauren and Paula Amen Schmitt. Napa: The Transformation of an American Town. San Francisco, CA: Arcadia Publishing, 2007.
Kilgallin, Anthony. Napa: An Architectural Walking Tour. San Francisco, CA: Arcadia Publishing, 2001. Napa city directories.
The Napa Valley Museum and Lin Weber. Napa. San Francisco, CA: Arcadia Publishing, 2004. Sanborn Fire Insurance maps (1886, 1891, 1901, 1910, 1924, 1949)
Weber, Lin. Old Napa Valley: The History to 1900. St. Helena, CA: Wine Ventures Publishing, 1998.
Weber, Lin. Roots of the Present: Napa Valley 1900 to 1950. St. Helena, CA: Wine Ventures Publishing, 2001.
Photographs:
Primary façade
State California
Page 1 of 3
B1. Historic name: Patrick's Candy & Ice Cream
B2. Common name: Annette's Chocolate & Ice Cream
*NRHP Status Code 6Z
*Resource Name or # 1321 First Street (APN: 003207011000)
B3. Original Use: Commercial B4. Present use: Commercial
*B5. Architectural Style: Googie
*B6. Construction History: (Construction date, alterations, and date of alterations)
1964: Constructed. 1991: Interior remodel. 2008: Trash enclosure constructed. 2010: Reroofing.
*B7. Moved? No Yes Unknown Date: Original Location: *B8. Related Features: None
B9a. Architect: William L. Jeffries b. Builder: Unknown
*B10. Significance: Theme Downtown commercial development Area: Napa, California Period of Significance 1964 Property Type Commercial Applicable Criteria N/A (Discuss importance in terms of historical or architectural context as defined by theme, period, and geographic scope. Also address integrity)
An original building permit shows that the commercial building at 1321 First Street was constructed in 1964. It was constructed on a parking lot associated with an adjacent reinforced concrete commercial building—Napa’s first Safeway—that can be seen on the 1949 Sanborn map (addressed at the time as 1321 First Street, but now 1315-1319 First Street). At the time of its construction, the property was owned by Hugo A. and Virginia M. (Gibb) Zeller, who had purchased it from Sam and Louise Gordon. Nathan F. Coombs is listed in the chain of title because he was Hugo Zeller’s attorney; the property was deeded to Coombs and back to the Zellers for estate planning purposes.
The Zellers also owned property throughout Napa. The family patriarch, Johan A. Zeller owned the Palace Hotel at Soscol Avenue and Third Street, which was known as the biggest hotel in Napa after the turn of the twentieth century and featured a popular saloon. He also owned the associated Palace Stables, the former Vallejo, Benicia & Napa Valley (VB&NV) Railroad Company car barn, and the property where his son operated Hugo A. Zeller Motors; all situated around Soscol Avenue and Third Street. Hugo A Zeller, operated the Hugo A. Zeller Motors garage as early as 1928 through 1947. City directories specify that the business sold and serviced Buick, Cadillac and LaSalle cars, and GMC trucks.
 
    Trinomial
Page 2 of 3 Resource Name or # (Assigned by recorder) 1321 First Street Recorded by Page & Turnbull, Inc.
*Date 9/15/2010 (rev. 2/22/2011) Continuation
Johann Zeller also owned a 50-acre prune orchard bounded by Jefferson Street, Trancas Street, Beard Road, and Pueblo Avenue; the area has since been subdivided into a residential tract, and the only remnant of the prune orchard today is the prune dehydrator building. Zeller also owned the Keller-Zeller Ranch in the Fly District of Carneros (now used for salt ponds).
In addition to the Zellers’ stronghold of property at Third and Soscol and agricultural lands, the family also owned a cluster of parcels in downtown Napa, generally situated along Randolph Street. These included Zeller's Hardware at 819 Randolph Street, the commercial building at 923-929 Randolph Street, the seven-unit commercial building at 920-930 Franklin Street, Napa’s first Safeway at 1315-1319 First Street, and the subject building at 1321 First Street (originally a parking lot for the Safeway).
1321 First Street originally housed the Patrick's Candy & Ice Cream shop, which remained through the late 1980s. The business changed hands three times and is currently occupied by Annette's Chocolate & Ice Cream, operated by Annette and Brent Madsen. The property is still owned by the Zeller family (Robert H. Zeller, Mary V. Zeller, and John B. Zeller).
NRHP Criterion A/CRHR Criterion 1/Napa HRI Landmark Criterion a (Events, Patterns and Trends)
Constructed in 1964, the commercial building at 1321 First Street does not appear to be significant for association with events or trends important to the broad patterns of the history of Napa. The building is located in downtown Napa, which has always been primarily commercial in nature, although the commercial core is surrounded by residential uses. This commercial building was constructed well after the initial development of the area, however, and supplanted an older commercial business located on the property. It does not have associations with any trends of development that were specific to the area. Therefore, 1321 First Street does not appear to qualify for listing in the National or California registers or for local listing under Criterion A/1/a.
NRHP Criterion B/CRHR Criterion 2/Napa HRI Landmark Criterion b (Person)
The commercial building at 1321 First Street does not appear to be significant for association with the lives of persons significant to Napa's history. Since the building's construction, only the Zeller family has owned the property. Although the Zellers are very prominent Napa property owners, business people and citizens, the commercial building at 1321 First Street is not a prime example of their holdings. Hugo Zeller was primarily known for his automotive-related business ventures and other properties in the city better represent his contributions to the community. Therefore, the property does not appear to qualify for listing in the National or California registers or for local listing under Criterion B/2/b.
NRHP Criterion C/CRHR Criterion 3/Napa HRI Landmark Criteria c,d,e (Design/Construction, Architects)
This commercial building exhibits mid-century architectural styling that can be classified as Googie. It is a good example of the style, however, other better examples exist in Napa, for instance the Gasser Motors car dealership on Soscol Avenue. The building is intact and has not undergone any major alterations. However, despite its good physical integrity it is not a sufficiently remarkable example of a type, method, or style of architecture. Additionally, research did not reveal the architect or builder of the building. Ultimately, it does not have high architectural merit or association with a master architect and does not qualify for listing in the National or California registers or for local listing under Criterion C/3/c,d,e.
NRHP Criterion D/CRHR Criterion 4
Archival research provided no indication that the building has the potential to yield information important to the prehistory or history of Napa, California, or the nation. Therefore, it does not appear to be eligible for listing under Criterion D/4.
The building at 1321 First Street retains its original use as a commercial property, specifically a candy and ice cream shop. Therefore, the building retains integrity of association. The building has never been moved and, so, has strong integrity of location. Located in the primarily commercial downtown core, the building's surroundings have generally remained the same over the years, including both commercial and residential properties in the vicinity, and so the property retains integrity of setting. The building has not been drastically altered, and therefore retains integrity of design, materials and workmanship. These factors contribute to integrity of feeling, which is supported by the fact that the property is still recognizable as a mid-century commercial building. Overall, the property retains historic significance.
1321 First Street does not appear eligible for listing in the national, state, or local registers under any criteria, and has therefore been assigned the California Historical Resource Status Code of 6Z, indicating that it has been found ineligible for National, California or local designation through survey evaluation.
Trinomial
Page 3 of 3 Resource Name or # (Assigned by recorder) 1321 First Street Recorded by Page & Turnbull, Inc. 9/15/2010 (rev. 2/22/2011) Continuation
Ancestry.com: Federal Census records, WWI and WWII draft cards, Public Records Indexes, etc.
City of Napa Assessor’s Office: deed records.
City of Napa Building Division: building permits.
Coodley, Lauren and Paula Amen Schmitt. Napa: The Transformation of an American Town. San Francisco, CA: Arcadia Publishing, 2007.
Kilgallin, Anthony. Napa: An Architectural Walking Tour. San Francisco, CA: Arcadia Publishing, 2001. Napa city directories.
The Napa Valley Museum and Lin Weber. Napa. San Francisco, CA: Arcadia Publishing, 2004. Sanborn Fire Insurance maps (1886, 1891, 1901, 1910, 1924, 1949)
Weber, Lin. Old Napa Valley: The History to 1900. St. Helena, CA: Wine Ventures Publishing, 1998.
Weber, Lin. Roots of the Present: Napa Valley 1900 to 1950. St. Helena, CA: Wine Ventures Publishing, 2001. Zeller, Robert H. Letter re: Downtown Specific Plan Area Historic Survey. December 10, 2010
Primary façade of 1321 First Street, view south from First Street. (Page & Turnbull 2010)
 
    Page 1 of 2
B1. Historic name: Napa City Hall
B2. Common name: Napa City Hall
B3. Original Use: Civic B4. Present use: Civic
*B5. Architectural Style: Contemporary
*NRHP Status Code 6Z
*Resource Name or # 1539 First Street/955 School St (APN: 003199014000-001)
*B6. Construction History: (Construction date, alterations, and date of alterations)
1951: Constructed. 1966: Addition of committee room. 1970: Repair auto damage. 1971, 1981: Reroofed. 1986: Interior remodel. 1997: Bathroom remodel, ADA accessibility improvements. 2003: Radio tower installed.
*B7. Moved? No Yes Unknown Date: Original Location: *B8. Related Features: None.
B9a. Architect: Unknown b. Builder: J.A. Bryant
*B10. Significance: Theme Downtown civic development Area: Napa, California
Period of Significance 1951 Property Type Civic Applicable Criteria N/A (Discuss importance in terms of historical or architectural context as defined by theme, period, and geographic scope. Also address integrity)
The City Hall building at 1539 First Street was constructed in 1951. The Sanborn map from 1949 shows a large vacant area where the building is now located, adjacent to the Napa Fire Department building that stood at 1558 Second Street at that time. Previously, Napa's City Hall was located on Brown Street, across from the County Courthouse, but was replaced by the subject building. Since the time of its construction, 1539 First Street has served as Napa's City Hall, housing the police department, and a variety of other city offices.
 
    NRHP Criterion A/CRHR Criterion 1/Napa HRI Landmark Criterion a (Events, Patterns and Trends)
Constructed in 1951, the City Hall building at 1539 First Street does not appear to be significant for association with events important to the broad patterns of history. The building is located in downtown Napa, which has always been primarily commercial in nature, although the commercial core is surrounded by residential uses and also houses many civic office buildings. This building was constructed well after the initial development of the area, and is not Napa's original City Hall. It is loosely associated with the prosperity and building boom that occurred after World War II, but does not appear to qualify for listing in the National or California registers or for local listing under Criterion A/1/a. (continued)
B11. HP14. Government Building
Sketch Map
NRHP Criterion B/CRHR Criterion 2/Napa HRI Landmark Criterion b (Person)
The City Hall building does not appear to be eligible for association with the lives of persons significant to our past. Since the building's construction, it has been owned by the City of Napa; a large civic organization with no specific representative people identified in connection with this particular property. Therefore, the property does not appear to qualify for listing in the National or California registers or for local listing under Criterion B/2/b.
The City Hall building exhibits mid-century architectural styling that can be classified as Contemporary. The building is intact and has not undergone any detrimental alterations. However, despite its good physical integrity it is not a sufficiently remarkable example of a type, method, or style of architecture. Research revealed that the builder was J.A Bryant, but he does not appear to qualify as a master builder. Ultimately, City Hall does not have the high architectural merit or association with a master architect or builder necessary to qualify for listing in the National or California registers or for local listing under Criterion C/3/c,d,e
NRHP Criterion D/CRHR Criterion 4
Archival research provided no indication that the building has the potential to yield information important to the prehistory or history of Napa, California, or the nation. Therefore, it does not appear to be eligible for listing in the National or California registers under Criterion D/4.
The building at 1539 First Street, still serves its intended purpose as a city hall, and retains integrity of association. The building has never been moved and retains integrity of location. Located in the primarily commercial downtown core, the building's surroundings have generally remained the same over the years, including both commercial and residential properties in the vicinity, and the property retains integrity of setting. The building has not been drastically altered, therefore it retains integrity of design, materials and workmanship. These factors contribute to integrity of feeling, which is supported by the fact that the property is still recognizable as a mid-century civic building. Overall, the building retains historic integrity.
Conclusion 1539 First Street does not appear eligible for listing in the national, state, or local registers under any criteria, and has therefore been assigned the California Historical Resource Status Code of 6Z, indicating that it has been found ineligible for National, California or local designation through survey evaluation.
Ancestry.com: Federal Census records, WWI and WWII draft cards, Public Records Indexes, etc.
City of Napa Assessor’s Office: deed records.
City of Napa Building Division: building permits.
Coodley, Lauren and Paula Amen Schmitt. Napa: The Transformation of an American Town. San Francisco, CA: Arcadia Publishing, 2007.
Kilgallin, Anthony. Napa: An Architectural Walking Tour. San Francisco, CA: Arcadia Publishing, 2001. Napa city directories.
The Napa Valley Museum and Lin Weber. Napa. San Francisco, CA: Arcadia Publishing, 2004.
Sanborn Fire Insurance maps (1886, 1891, 1901, 1910, 1924, 1949)
Weber, Lin. Old Napa Valley: The History to 1900. St. Helena, CA: Wine Ventures Publishing, 1998.
Weber, Lin. Roots of the Present: Napa Valley 1900 to 1950. St. Helena, CA: Wine Ventures Publishing, 2001.
 Primary façade of 1539 First Street/ 955 School Street, view south from First Street. (Page & Turnbull 2010)
    Primary façade of 1539 First Street/ 955 School Street, view south from First Street. (Page & Turnbull 2010)
          Page 1 of 3
B1. Historic name: N/A
B2. Common name: N/A
B3. Original Use: Residential B4. Present use: Commercial
 
    *B5. Architectural Style: Craftsman
*NRHP Status Code 5S3
*Resource Name or # 1564 First Street____ (APN 003198018000)
*B6. Construction History: (Construction date, alterations, and date of alterations)
Ca. 1915: building constructed. 1973: electrical work. 1979: roof replaced. 1984: commercial remodel. 1994: roof replaced with tar and gravel. 1995: new handrail installed.
*B7. Moved? No Yes Unknown Date: Original Location:
*B8. Related Features: None
B9a. Architect: Unknown b. Builder: Unknown
*B10. Significance: Theme Downtown residential development Area: Napa, California Period of Significance ca. 1915 Property Type Residential Applicable Criteria Napa HRI Landmark Criterion c (Discuss importance in terms of historical or architectural context as defined by theme, period, and geographic scope. Also address integrity)
The residential building at 1564 First Street (originally addressed as 1570 First Street) was constructed circa 1915 as a 1-story dwelling. First Street developed early in Napa’s history as a fashionable residential street because of its proximity to the downtown commercial core. Sanborn Fire Insurance maps show that the subject property originally included the lot to the west, which included another dwelling (still extant and addressed as 1580-1598 First Street). The portion of the lot on which 1564 First Street currently sits was a side yard to the 1580-1598 First Street dwelling. The 1924 Sanborn Fire Insurance map shows a row of thirteen 1- to 2-story dwellings along the north side of First Street, eight 1- to 2-story dwellings on the south side of First Street, and a Baptist Church at the corner of First and School Streets. The block was largely residential in character and the majority of the dwellings pre-dated the construction of 1564 First Street (evidenced by the appearance of neighboring buildings on the 1910 Sanborn Fire Insurance Map). Napa neighborhoods, including Downtown, continued to feature a mixture of large and small houses rendered in a wide variety of styles. It was common practice during the 1910s and 1920s to subdivide parcels containing large Victorian-era residences to accommodate infill construction of smaller twentieth century bungalows, and 1564 First Street illustrates this trend . The diversity of classes and attitudes towards class differences would not disappear until after the war, and neighborhoods that appealed to much narrower socioeconomic ranges were not developed until the 1920s.
Deed records and city directories do not provide information about the original owners and residents of the building. The first reference to the building appears in the 1920 Federal Census, which lists Peter and Mae Nickels as residents of 1564 First Street. The 1929 city directory confirms Peter Nickels, a farmer and butcher, as the owner of the building, residing there with his wife Mae. Peter Nickels died in 1941, and Mae Nickels is listed as the sole resident in 1942. A World War II draft card indicates that then 63 year old Frank A. Beebe took up residence at 1564 First Street in 1942. Exact ownership is unclear during this period, but records indicate that the property was transferred from the estate of Harriet A. Smith to Frank A. and Georgia T. Beebe by decree in 1945. The 1949 and 1959 city directories confirm the Beebes’ residence at 1564 First Street. Mrs. Lillian M. Levett is listed as residing at the property in 1967, and Danny McDaniel, a custodian for Napa County, in 1975. Ownership records for the property were not found for the late 1970s and early 1980s. The property is currently owned by James V. Jones and was converted to commercial use as Jones’ Law Office, likely in 1985 at the time a commercial remodel was completed.
NRHP Criterion A/CRHR Criterion 1/Napa HRI Landmark Criterion a (Events, Patterns and Trends)
Constructed in circa 1915, the house at 1564 First Street does not appear to be significant for its association with events or trends important to the history of Napa. The building is located in a mixed commercial/residential area within the commercial core of downtown Napa. A majority of the residential development in this area took place prior to the construction of the subject property. The building does not exemplify the important trend in the early residential development of the downtown area, or the subsequent commercial development that followed in the mid-twentieth century. Although the house played a part in the general growth and development of the area, it does not have sufficient associations with these trends to qualify under this criterion. Therefore, 1564 First Street does not appear to be eligible under Criterion A/1/a.
NRHP Criterion B/CRHR Criterion 2/Napa HRI Landmark Criterion b (Person)
The house at 1564 First Street does not appear to be significant for association with the lives of persons significant to our past. Throughout the building's history, it was a single family residence owned and occupied by a variety of working, middle, and upper class families, but there is no indication that any of their members made significant enough contributions to Napa's history to qualify under this criterion. Therefore, 1564 First Street does not appear to be eligible under Criterion B/2/b.
NRHP Criterion C/CRHR Criterion 3/Napa HRI Landmark Criteria c,d,e (Design/Construction, Architects)
The house is an excellent example of a Craftsman bungalow in the neighborhood. The building was constructed slightly later than neighboring residences, which were constructed in popular Victorian-era styles in the late nineteenth and early twentieth century. While many historic residences in the downtown core have been demolished, the conversion of 1564 First Street into offices in the mid-1980s has made the building applicable in the present day commercial district, and allowed for the retention of the building’s original appearance and detailing. 1564 First Street is an excellent example of a type, method, and style of architecture—an early Craftsman bungalow—and thus appears to be eligible for listing in the local register under Criterion c. Its low form, prominent front porch, knee braces, square columns, and stucco cladding are hallmarks of the Craftsman style. Research did not reveal the architect or builder of the building such that would warrant consideration of the building as work of a master under local Criterion d, and it does not represent a rare building type and is therefore not eligible under local Criterion e. The architectural character of the property does not rise to the level of significance required for listing in the National Register under Criterion C or the California Register under Criterion 3.
Archival research provided no indication that the building has the potential to yield information important to the prehistory or history of Napa, California, or the nation. Therefore, it does not appear to be eligible for listing under Criterion D/4.
The building at 1564 First Street has been converted from its original use as single family property to use as law offices. This change in use required few exterior alterations and the property continues to exhibits the characteristics of an early Craftsman bungalow, so integrity of association is retained. The building has never been moved and thus retains integrity of location. When constructed, the building was part of a residential neighborhood in the area that became the commercial core of Napa’s downtown district. Today, this area is characterized by largely commercial uses, and many of the residential properties that characterized the neighborhood in the early twentieth century have been demolished. Due to these changes in the surrounding neighborhood, the building does not retain integrity of setting. The building has undergone very few changes over time, and the overall character, scale, massing, and style of the original Craftsman bungalow are evident. Therefore, the building retains integrity of design, materials and workmanship. The building’s integrity of feeling is supported by the fact that it is still recognizable as an early Craftsman bungalow. Overall, the building possesses sufficient historic integrity to convey its significance under local register Criterion c.
1564 First Street appears to be eligible for listing in the local register as a Landmark Property under Napa HRI Landmark Criterion c. The building retains sufficient historic integrity to convey its significance under this criterion. The building has therefore been assigned a California Historical Resource Status Code of 5S3 (appears to be individually eligible for local listing or designation through survey evaluation).
Ancestry.com: Federal Census records, WWI and WWII draft cards, Public Records Indexes, etc.
City of Napa Assessor’s Office: deed records.
City of Napa Building Division: building permits.
Coodley, Lauren and Paula Amen Schmitt. Napa: The Transformation of an American Town. San Francisco, CA: Arcadia Publishing, 2007.
Kilgallin, Anthony. Napa: An Architectural Walking Tour. San Francisco, CA: Arcadia Publishing, 2001. Napa city directories.
The Napa Valley Museum and Lin Weber. Napa. San Francisco, CA: Arcadia Publishing, 2004. Sanborn Fire Insurance maps (1886, 1891, 1901, 1910, 1924, 1949)
Weber, Lin. Old Napa Valley: The History to 1900. St. Helena, CA: Wine Ventures Publishing, 1998. Weber, Lin. Roots of the Present: Napa Valley 1900 to 1950. St. Helena, CA: Wine Ventures Publishing, 2001.
 
    Page 1 of 2
B1. Historic name: None
B2. Common name: City of Napa Community Services Building B3. Original Use: Commercial
B4. Present use: Civic
*NRHP Status Code 6Z
*Resource Name or # 1600 First Street (APN: 003195001000)
*B5. Architectural Style: Contemporary
*B6. Construction History: (Construction date, alterations, and date of alterations)
1958: Constructed. 1976: Roof repaired. 1982: Reroofed.
*B7. Moved? No Yes Unknown Date: Original Location: *B8. Related Features: Parking lot.
B9a. Architect: Unknown b. Builder: Unknown
*B10. Significance: Theme Downtown civic development Area: Napa, California Period of Significance 1958
Property Type Civic Applicable Criteria N/A (Discuss importance in terms of historical or architectural context as defined by theme, period, and geographic scope. Also address integrity)
According to Assessor's records, the civic building at 1600 First Street was constructed in 1958. The Sanborn map from 1949 shows a large one-and-a-half story dwelling located on an expansive parcel that occupied almost the entire block bounded by First, Washington, Clay and Seminary streets. The house was later cleared and the subject building was constructed. At that time, the property was owned by State Farm Life Insurance and Safeway Stores, Inc. Safeway also owned the property on the north side of Clay Street, near the subject property, where a large Safeway Supermarket is located. It is not known what business was located in the subject building at this time, although perhaps it was used as office space by Safeway. In 1975, ownership of the property was transferred in its entirety to Safeway Stores, Inc., and then immediately sold to the City of Napa. Under the City of Napa's ownership, the building houses the Community Services departments.
 
    NRHP Criterion A/CRHR Criterion 1/Napa HRI Landmark Criterion a (Events, Patterns and Trends)
Constructed in 1958, the civic building at 1600 First Street does not appear to be significant for association with events important to the broad patterns of history. (continued)
B11. Additional Resource Attributes: (List HP6. 1-3 story commercial building
*B12.
B13.
*B14. Turnbull,
*Date 9/15/2010 (This
Sketch Map
CONTINUATION SHEET 2 of 3 Name or # (Assigned by recorder) 1600 First Street Recorded by Page & Turnbull, Inc. 9/10/2010 Continuation
The building is located in downtown Napa, which has always been primarily commercial in nature, although the commercial core is surrounded by residential uses and also houses many civic office buildings. This building was constructed well after the initial development of the area, however, and does not have associations with any trends of development that were specific to the area. Therefore, 1700 First Street does not appear to qualify for listing in the National or California registers or for local listing under Criterion A/1/a.
NRHP Criterion B/CRHR Criterion 2/Napa HRI Landmark Criterion b (Person)
The civic building at 1600 First Street does not appear to be eligible for association with the lives of persons significant to our past. Since the building's construction, it has been owned by Safeway Stores, Inc. and the City of Napa; both large organizations with no specific representative people identified in connection with this particular office. Therefore, the property does not appear to qualify for listing in the National or California registers or for local listing under Criterion B/2/b.
NRHP Criterion C/CRHR Criterion 3/Napa HRI Landmark Criteria c,d,e (Design/Construction, Architects)
This civic building exhibits mid-century architectural styling that can be classified as Contemporary. The building is intact and has not undergone any major alterations. However, despite its good physical integrity it is not a sufficiently remarkable example of a type, method, or style of architecture. Additionally, research did not reveal the architect or builder of the building. Ultimately, it does not have the high architectural merit or association with a master architect and does not appear to qualify for listing in the National or California registers or for local listing under Criterion C/3/c,d,e.
NRHP Criterion D/CRHR Criterion 4
Archival research provided no indication that the building has the potential to yield information important to the prehistory or history of Napa, California, or the nation. Therefore, it does not appear to be eligible for listing in the National or California registers under Criterion D/4.
The building at 1600 First Street, was probably originally a commercial building and now has civic uses. In both instances, the building essentially functioned as office spaces and retains integrity of association. The building has never been moved and retains integrity of location. Located in the primarily commercial downtown core, the building's surroundings have generally remained the same over the years, including both commercial and residential properties in the vicinity, and the property retains integrity of setting. The building has not been drastically altered, and retains integrity of design, materials and workmanship. These factors contribute to integrity of feeling, which is supported by the fact that the property is still recognizable as a midcentury commercial building. Overall, the building retains historic integrity.
1600 First Street does not appear eligible for listing in the national, state, or local registers under any criteria, and has therefore been assigned the California Historical Resource Status Code of 6Z, indicating that it has been found ineligible for National, California or local designation through survey evaluation.
Ancestry.com: Federal Census records, WWI and WWII draft cards, Public Records Indexes, etc.
City of Napa Assessor’s Office: deed records.
City of Napa Building Division: building permits.
Coodley, Lauren and Paula Amen Schmitt. Napa: The Transformation of an American Town. San Francisco, CA: Arcadia Publishing, 2007.
Kilgallin, Anthony. Napa: An Architectural Walking Tour. San Francisco, CA: Arcadia Publishing, 2001. Napa city directories.
The Napa Valley Museum and Lin Weber. Napa. San Francisco, CA: Arcadia Publishing, 2004.
Sanborn Fire Insurance maps (1886, 1891, 1901, 1910, 1924, 1949)
Weber, Lin. Old Napa Valley: The History to 1900. St. Helena, CA: Wine Ventures Publishing, 1998.
Weber, Lin. Roots of the Present: Napa Valley 1900 to 1950. St. Helena, CA: Wine Ventures Publishing, 2001.
 
    Page 1 of 2
B1. Historic name: Bank of America
B2. Common name: Bank of America
*NRHP Status Code 6Z Name or # 1700 First Street 003192002000)
B3. Original Use: Commercial B4. Present use: Commercial
*B5. Architectural Style: Brutalist
*B6. Construction History: (Construction date, alterations, and date of alterations)
1957: Constructed. 1959: Sign installed. 1971: Drive-up windows installed, alterations to parking lot. 1972: Sign installed. 1982: Awning installed, exterior lighting, 2 ATMs installed, 2 signs installed, interior remodeling. 1989: Remodeling of platform area, reroofed. 1992: New ATM installed. 2000: 2 signs installed. 2008: 2 signs installed.
*B7. Moved? No Yes Unknown Date: Original Location:
*B8. Related Features: Parking lot.
B9a. Architect: Unknown
b. Builder: Unknown
*B10. Significance: Theme Downtown commercial development Area: Napa, California
Period of Significance 1957 Property Type Commercial Applicable Criteria N/A (Discuss importance in terms of historical or architectural context as defined by theme, period, and geographic scope. Also address integrity)
According to the original building permit, the commercial building at 1700 First Street was constructed in 1957. The permit did not identify an architect or builder. The previous owner of the property was Frank G. Noyes, a prominent Napa businessman who owned a lumber yard in East Napa. He was known to have pastured a cow on the subject property, which was vacant prior to the construction of the subject building.
In 1957, the Bank of America National Trust and Savings Association purchased the property from Noyes and erected the building that stands today. The building has housed a Bank of America branch since that time.
NRHP Criterion A/CRHR Criterion 1/Napa HRI Landmark Criterion a (Events, Patterns and Trends) Constructed in 1957, the commercial building at 1700 First Street does not appear to be significant for association with events important to the broad patterns of history. (continued)
B11. HP6. 1-3 story commercial building
 
    *B12.
Sketch Map
*B14.
*Date
CONTINUATION SHEET 2 of 3 Name # by recorder) First Recorded Turnbull, 9/10/2010
The building is located in downtown Napa, which has always been primarily commercial in nature, although the commercial core is surrounded by residential uses. This commercial building was constructed well after the initial development of the area, however, and does not have associations with any trends of development that were specific to the area. Therefore, 1700 First Street does not appear to qualify for listing in the National or California registers or for local listing under Criterion A/1/a.
NRHP Criterion B/CRHR Criterion 2/Napa HRI Landmark Criterion b (Person)
The commercial building at 1700 First Street does not appear to be eligible for association with the lives of persons significant to our past. Since the building's construction, it has been owned by the Bank of America, a national financial institution, with no specific representative people identified in connection with this particular branch. Therefore, the property does not appear to qualify for listing in the National or California registers or for local listing under Criterion B/2/b.
NRHP Criterion C/CRHR Criterion 3/Napa HRI Landmark Criteria c,d,e (Design/Construction, Architects)
This commercial building exhibits mid-century architectural styling that can be classified as Brutalist. The building is intact and has not undergone any major alterations. However, despite its good physical integrity it is not a sufficiently remarkable example of a type, method, or style of architecture. Additionally, research did not reveal the architect or builder of the building. Ultimately, it does not have high architectural merit or association with a master architect and does not appear to qualify for listing in the National or California registers or for local listing under Criterion C/3/c,d,e.
NRHP Criterion D/CRHR Criterion 4
Archival research provided no indication that the building has the potential to yield information important to the prehistory or history of Napa, California, or the nation. Therefore, it does not appear to be eligible for listing in the National or California registers under Criterion D/4.
The building at 1700 First Street, retains its original use as a commercial property, specifically a bank. Therefore, the building retains integrity of association. The building has never been moved and retains integrity of location. Located in the primarily commercial downtown core, the building's surroundings have generally remained the same over the years, including both commercial and residential properties in the vicinity, and the property retains integrity of setting. The building has not been drastically altered, therefore it retains integrity of design, materials and workmanship. These factors contribute to integrity of feeling, which is supported by the fact that the property is still recognizable as a mid-century commercial building. Overall, the building retains historic integrity.
1700 First Street does not appear eligible for listing in the national, state, or local registers under any criteria, and has therefore been assigned the California Historical Resource Status Code of 6Z, indicating that it has been found ineligible for National, California or local designation through survey evaluation.
Ancestry.com: Federal Census records, WWI and WWII draft cards, Public Records Indexes, etc.
City of Napa Assessor’s Office: deed records.
City of Napa Building Division: building permits.
Coodley, Lauren and Paula Amen Schmitt. Napa: The Transformation of an American Town. San Francisco, CA: Arcadia Publishing, 2007.
Kilgallin, Anthony. Napa: An Architectural Walking Tour. San Francisco, CA: Arcadia Publishing, 2001. Napa city directories.
The Napa Valley Museum and Lin Weber. Napa. San Francisco, CA: Arcadia Publishing, 2004.
Sanborn Fire Insurance maps (1886, 1891, 1901, 1910, 1924, 1949)
Weber, Lin. Old Napa Valley: The History to 1900. St. Helena, CA: Wine Ventures Publishing, 1998.
Weber, Lin. Roots of the Present: Napa Valley 1900 to 1950. St. Helena, CA: Wine Ventures Publishing, 2001.
 
    Page 1 of 3
B1. Historic name: None
B2. Common name: None
*NRHP Status Code 6Z
*Resource Name or # 708-714 First Street (APN: 003182009000)
B3. Original Use: Commercial B4. Present use: Commercial
*B5. Architectural Style: Art Moderne
*B6. Construction History: (Construction date, alterations, and date of alterations)
1948: Constructed. 1959: Unspecified alterations to building; signage for Napa Paint & Wallpaper installed. 1960: Sign moved. 1966: Alterations to front door at 708 First St. 1976: Building reroofed. 1995: Flood repairs undertaken. 1998: Signage installed at 710 First St. and awnings installed at 710 First St. 1999: House at rear of lot relocated off-site; awnings installed at 710 First St. 2003: Tenant improvements at 1027 McKinstry. 2007: Tenant improvements to wine bar at 708 First St. 2008: Awning installed at 708 First St. 2010: Bathroom expanded and made ADA accessible.
*B7. Moved? No Yes Unknown Date: Original Location:
*B8. Related Features: None
B9a. Architect: Unknown b. Builder: Unknown
*B10. Significance: Theme Downtown commercial development Area: Napa, California Period of Significance 1948 Property Type Commercial Applicable Criteria N/A (Discuss importance in terms of historical or architectural context as defined by theme, period, and geographic scope. Also address integrity)
The commercial building at 708-714 First Street was constructed in 1948 on a lot that previously consisted of two parcels, each occupied by a dwelling. A single-story dwelling at the corner of First and McKinstry Streets appears to have been removed for the construction of the subject building, while a two-story house to the immediate west appears to have been moved to the rear of the lot to accommodate the subject building. The 1949 Sanborn Fire Insurance map shows the two-story house situated behind the Lshaped commercial building, which was subdivided into a number of shop spaces. The unit at the corner of the building, addressed as 708 First Street, housed Napa Paint & Wallpaper. An unidentified shop was located at 710 First Street, a motorcycle sales shop at 712 First Street, and a furniture store at 714 First Street.
 
    According to deed records, the Gozza family owned the property at the time of the building's construction. Martin and Rosa Gozza were Italian immigrants who came to the United States in 1905 and 1911, respectively. Martin Gozza was a laborer and they lived in Detroit, Michigan in 1930. By at least 1947 they had moved to Napa and purchased the subject property. In 1947, they sold it to their son and daughter-in-law, Joseph and Louise M. Gozza.
*B12.
*B14.
*Date 8/30/2010
In 1958, the Gozzas sold the property to Hildegard and Henry Duser, proprietors of the Napa Paint & Wallpaper Company and, thus, long-time tenants of the building. During the Dusers' period of ownership, the building continued to house Napa Paint & Wallpaper, as well as Lee's Custom Floors and Valet Cleaners & Tailors. By 1967, Napa Paint & Wallpaper appears to have been taken over by Robert M. and Marie Talley and was renamed Talley's Napa Paint & Wallpaper. This may have been a result of Henry Duser's retirement, however the Dusers continued to own the building itself.
Henry Duser died in 1972 and the following year Hildegard Duser sold the property to Robert M. and Marie Talley in partnership with Lester O. and Beverly Simonson. Talley's Paint & Wallpaper continued to conduct business through at least 1986. In 1975, Napa Pet Center was located in the corner unit, while Lee's Custom Floors and Valet Cleaners remained in the other shop spaces.
In 1995, the nearby Napa River flooded, inundating the surrounding neighborhoods. Repairs had to be undertaken at the property. By 1998, the property was purchased by current owners Robert & Mary Stevens, and in 1999, the two-story house located at the rear of the subject parcel was moved. According to building permit records, it was an 1895 farmhouse and was relocated to Vichy Avenue.
NRHP Criterion A/CRHR Criterion 1/Napa HRI Landmark Criterion a (Events, Patterns and Trends) Constructed in 1948, the commercial building at 708-714 First Street does not appear to be significant for association with events or trends important to the broad patterns of history of Napa. The building is located in a neighborhood, which was largely residential, consisting of small, working-class houses built during the early twentieth century. This commercial building was constructed well after the initial development of the area and supplanted older houses located on the property. It does not have associations with any major trends of development that occurred later and does not correspond to any major commercial booms that were specific to the area. Therefore, 708-714 First Street does not appear to rise to qualify for listing in the National or California registers or for local listing under Criterion A/1/a.
NRHP Criterion B/CRHR Criterion 2/Napa HRI Landmark Criterion b (Person)
The commercial building at 708-714 First Street does not appear to be significant for association with the lives of persons significant to the history of Napa. Throughout the building's history, many of the owners have also been proprietors of a business located within the building. While these people were likely successful merchants, they do not appear to have had been sufficiently important to the history of Napa to lend significance to the building that they owned or operated a business in. Therefore, the property does not appear qualify for listing in the National or California registers or for local listing under Criterion B/2/b
NRHP Criterion C/CRHR Criterion 3/Napa HRI Landmark Criteria c,d,e (Design/Construction, Architects)
This commercial building exhibits mid-century architectural styling that includes Art Moderne overtones. It is not a prime example of the style, however, and other better examples exist throughout Napa. The building is generally intact and has not undergone any major alterations. However, despite its good physical integrity, it is not a sufficiently remarkable example of a type, method, or style of architecture. Additionally, research did not reveal the architect or builder of the building. Ultimately, it does not have the high architectural merit or association with a master architect necessary to qualify for listing in the National or California registers or for local listing under Criterion C/3/c,d,e.
NRHP Criterion D/CRHR Criterion 4
Archival research provided no indication that the building has the potential to yield information important to the prehistory or history of Napa, California, or the nation. Therefore, it does not appear to be eligible for listing under Criterion D/4.
The building at 708-714 First Street, retains its original use as a commercial property housing multiple retail shops. Therefore, it retains integrity of association. The building has never been moved and retains integrity of location. When constructed, the building was located within a largely residential neighborhood surrounded by the river and bounded by the railroad tracks to the west. While this residential enclave remains on the south side of First Street, the new Oxbow Market development to the immediate east of the subject property has imposed a stronger, larger-scale commercial character in the area and therefore the subject property does not retain integrity of setting. The building has not been drastically altered, but for the addition of various signs and awnings, therefore integrity of design, materials and workmanship is retained. These factors contribute to integrity of feeling, which is supported by the fact that the property is still recognizable as a mid-century commercial building. Overall the property retains historic integrity.
Page 3 of Name recorder) 708-714 First Street Recorded Page & Turnbull, Inc. 8/30/2010
Conclusion
708-714 First Street does not appear to be eligible for listing in the national, state, or local registers under any criteria, and has been assigned the California Historical Resource Status Code of 6Z indicating that it has been found ineligible for National, California or local designation through survey evaluation.
Ancestry.com: Federal Census records, WWI and WWII draft cards, Public Records Indexes, etc.
City of Napa Assessor’s Office: deed records.
City of Napa Building Division: building permits.
Coodley, Lauren and Paula Amen Schmitt. Napa: The Transformation of an American Town. San Francisco, CA: Arcadia Publishing, 2007.
Kilgallin, Anthony. Napa: An Architectural Walking Tour. San Francisco, CA: Arcadia Publishing, 2001. Napa city directories.
The Napa Valley Museum and Lin Weber. Napa. San Francisco, CA: Arcadia Publishing, 2004. Sanborn Fire Insurance maps (1886, 1891, 1901, 1910, 1924, 1949)
Weber, Lin. Old Napa Valley: The History to 1900. St. Helena, CA: Wine Ventures Publishing, 1998. Weber, Lin. Roots of the Present: Napa Valley 1900 to 1950. St. Helena, CA: Wine Ventures Publishing, 2001.
Primary façade of 708-714 First Street, view north from First Street. (Page & Turnbull 2010)
 
    Page 1 of 2
B1. Historic name: Riverside Service Station B2. Common name: None
*NRHP Status Code 6Z
*Resource Name or # 967 First Street (APN: 003231002000_001)
B3. Original Use: Commercial B4. Present use: Commercial
*B5. Architectural Style: Utilitarian
*B6. Construction History: (Construction date, alterations, and date of alterations)
1951: Constructed as Basalite gas station. 1959: Signs installed. 1962: Sign installed. 1966: Sign installed. 1970: Sign installed. 1983: Commercial renovation and remodel. 1993: Reroofing. 2003: Tenant improvements, 2 signs installed. 2005: Awning installed. 2006: Exhaust duct for wine shop installed.
*B7. Moved? No Yes Unknown Date: Original Location:
*B8. Related Features: Parking area at front. Shares a parcel with the Semorile Building at 975 First Street (1888).
 
    B9a. Architect: Unknown b. Builder: Louis Bormalini
*B10. Significance: Theme Downtown commerical development Area: Napa, California
Period of Significance 1951 Property Type Commercial Applicable Criteria N/A (Discuss importance in terms of historical or architectural context as defined by theme, period, and geographic scope. Also address integrity)
The commercial building at 967 First Street was constructed in 1951 to serve as a gas station. The Sanborn map from 1949 indicates that it replaced other utilitarian buildings housing a machine shop and storage that were located on the property. The property was owned by Angie Semorile and other related parties, and was likely a portion of larger Semorile family holdings that included the neighboring Semorile Building at the corner of First and Main streets.
The gas station was owned by Joe Panzo and constructed by Louis Bormalini, a contractor from Novato. It was known as Riverside Service Auto Repair and was run by Roy Rota and John Scansi. The Appliance Clinic, operated by Virgil A. Mathis was located in the shop space addressed 975 First Street.
In 1980, the property was purchased by Shanty's Properties. Riverside Service Auto Repair remained through the late 1980s and was joined by Fireside Thrift Co., a finance company, at 975a First Street, and Stewart J. Viets Certified Financial Planner and AICP City Planning at 975b First Street. The building continues to be known as Riverside Service.
(continued)
B11. Additional Resource codes) HP6. 1-3 story commercial building
CONTINUATION SHEET 2 3 Name # 967 Turnbull, 9/18/2010
NRHP Criterion A/CRHR Criterion 1/Napa HRI Landmark Criterion a (Events, Patterns and Trends)
Constructed in 1951, the commercial building at 967 First Street has some associations with Napa's car culture, which boomed after World War II and resulted in the construction of many gas stations and automotive-related buildings. The building is located in downtown Napa, adjacent to the First Street Bridge, which has always been a primarily commercial area and was a transportation thoroughfare. Despite these associations, there are other better examples of mid-century service stations in the downtown area and therefore, 967 First Street does not appear to qualify for listing in the National or California registers or for local listing under Criterion A/1/a.
NRHP Criterion B/CRHR Criterion 2/Napa HRI Landmark Criterion b (Person)
The commercial building at 967 First Street does not appear to be eligible for association with the lives of persons significant to Napa's past. Since the building's construction, the property has been owned by the Semorile family, but they do not appear to have been involved with the construction of the building or any of the businesses located on the lot. None of the owners or managers of the businesses located in the building appear to have been significant business people or made contributions important to Napa's history. Therefore, the property does not appear to qualify for listing in the National or California registers or for local listing under Criterion B/2/b.
NRHP Criterion C/CRHR Criterion 3/Napa HRI Landmark Criteria c,d,e (Design/Construction, Architects)
This commercial building exhibits utilitarian architectural styling. The building is intact and has not undergone any major alterations, however, despite its good physical integrity it is not a sufficiently remarkable example of a type, method, or style of architecture. Research revealed that the builder was Louis Bormalini, who does not appear to qualify as a master builder. Ultimately, it does not have the high architectural merit or association with a master architect necessary to qualify for listing in the National or California registers or for local listing under Criterion C/3/c,d,e.
NRHP Criterion D/CRHR Criterion 4
Archival research provided no indication that the building has the potential to yield information important to the prehistory or history of Napa, California, or the nation. Therefore, it does not appear to be eligible for listing in the National or California registers under Criterion D/4.
The building at 967 First Street, was originally a gas station, but no longer functions as such today, so does not retain integrity of association. The building has never been moved and retains integrity of location. Located in the primarily commercial downtown core, the building's surroundings have generally remained the same over the years, and so the property's integrity of setting is retained. The building has not been drastically altered, and therefore its integrity of design, materials and workmanship is retained. These factors contribute to integrity of feeling, which is supported by the fact that the property is still recognizable as a mid-century commercial building with automotive associations. Overall, the building retains historic integrity.
967 First Street does not appear eligible for listing in the national, state, or local registers under any criteria, and has therefore been assigned the California Historical Resource Status Code of 6Z, indicating that it has been found ineligible for National, California or local designation through survey evaluation.
Page 3 of 3 Name recorder) 967 First Street Recorded Page & Turnbull, Inc. 9/18/2010
Ancestry.com: Federal Census records, WWI and WWII draft cards, Public Records Indexes, etc.
City of Napa Assessor’s Office: deed records.
City of Napa Building Division: building permits.
Coodley, Lauren and Paula Amen Schmitt. Napa: The Transformation of an American Town. San Francisco, CA: Arcadia Publishing, 2007.
Kilgallin, Anthony. Napa: An Architectural Walking Tour. San Francisco, CA: Arcadia Publishing, 2001. Napa city directories.
The Napa Valley Museum and Lin Weber. Napa. San Francisco, CA: Arcadia Publishing, 2004. Sanborn Fire Insurance maps (1886, 1891, 1901, 1910, 1924, 1949)
Weber, Lin. Old Napa Valley: The History to 1900. St. Helena, CA: Wine Ventures Publishing, 1998.
Weber, Lin. Roots of the Present: Napa Valley 1900 to 1950. St. Helena, CA: Wine Ventures Publishing, 2001.
Primary façade
 
    Page 1 of 2
B1. Historic name: None
B2. Common name: None
B3. Original Use: Residential
 
    *NRHP Status Code 5S3
*Resource Name or # 1426 Fourth Street (APN: 003206006000)
B4. Present use: Residential
*B5. Architectural Style: Mediterranean Revival
*B6. Construction History: (Construction date, alterations, and date of alterations)
Circa 1930: Constructed. 1959: Termite damage repair completed. 1976. Reroofed.
*B7. Moved? No Yes Unknown Date: Original Location: *B8. Related Features: None.
B9a. Architect: Unknown b. Builder: Unknown
*B10. Significance: Theme Downtown residential development Area: Napa, California Period of Significance ca. 1930 Property Type Residential Applicable Criteria Napa HRI Landmark Criterion c (Discuss importance in terms of historical or architectural context as defined by theme, period, and geographic scope. Also address integrity)
The house at 1426 Fourth Street was constructed around 1930. The earliest known owner of the property was Samuel Gordon, who owned it prior to 1935. The 1930 census indicates that Samuel Gordon and his wife Louise lived on Randolph Street and were retired. They may have rented out the house at 1426 Fourth Street. A 1935 city directory shows that widow and former grammar school teacher Ethel Anglim lived at the property at that time.
In 1935, Gordon sold the property to Erwin E. and Juanita Kron. Erwin was an electrician and Erwin, along with Juanita and their daughter June, moved to Napa some time between 1920 and 1930. No records indicate whether they lived in the house or not. In 1941, the Krons sold the property to Susie T. Hackett. Susie Hackett was the daughter of Williams Smith, one of the earliest settlers in the West Napa neighborhood, and she and her husband, Charles C. Hackett, a dentist and later the city assessor, are better known for their ownership and occupancy of the Hackett House at 2109 First Street, which is an elaborate Queen Anne cottage that was built in 1888 and designed by preeminent Napa architect Luther Turton. The Hacketts owned more than one property in the area, although city directories indicate that Susie Hackett resided at the subject property in the 1940s, possibly after she was widowed.
Susie Hackett sold the property to Aelred and Madeline Swanson in 1956. Aelred was a salesman for Kaiser Steel. By 1975, Madeline Swanson was a widow, but continued to own and occupy the house through at least 1997. (continued)
CONTINUATION SHEET 2 3 # 1426 Page Turnbull, 9/8/2010
NRHP Criterion A/CRHR Criterion 1/Napa HRI Landmark Criterion a (Events, Patterns and Trends)
Constructed circa 1930, the house at 1426 Fourth Street does not appear to be significant for association with events important to the broad patterns of history. The building is located in downtown Napa, which has always been primarily commercial in nature, although the commercial core is surrounded by residential uses. This residential building is not associated with the growth of downtown as a commercial center and was constructed well after the initial development of the area. It plays a part in the general growth and development of the area, however it does not have sufficient or specific associations with these trends to set it apart as significant. Therefore, 1426 Fourth Street does not appear to qualify for listing in the National or California registers or for local listing under Criterion A/1/a.
NRHP Criterion B/CRHR Criterion 2/Napa HRI Landmark Criterion b (Person)
The house at 1426 Fourth Street does not appear to be significant for association with the lives of persons significant to our past. Throughout the building's history, it was a single family residence owned and occupied by various working, middle, and upper class families, but there is no indication that any of their members made significant contributions or were otherwise important to Napa's history. The most prominent of the owner was Susie T. Hackett, who was the daughter of one of the area's earliest settlers and a prominent citizen in her own right. However, his mere relation to Williams Smith, her own status as a prominent citizen and owner of one of the city's landmark houses, does not make Susie T. Hackett a significant figure. She is much more closely associated with the Hackett House at 2109 First Street and appears to have resided at the subject property later in her life, after becoming a widow. Based on this, the property does not appear to qualify for listing in the National or California registers or for local listing under Criterion B/2/b.
NRHP Criterion C/CRHR Criterion 3/Napa HRI Landmark Criteria c,d,e (Design/Construction, Architects)
This house exhibits Mediterranean Revival styling, with its tile roof, arched window and door openings, decorative columns and detailing above windows and overall form. It is a good example of a modestly-sized residence, and has high physical integrity and contributes to the context of early twentieth century residential architecture in Napa. There are other houses of a similar era and style in the neighborhood and city, and 1426 Fourth Street is a good example of a Mediterranean Revival style residence. Research did not reveal the architect or builder of the house, but ultimately, it has the architectural merit necessary to qualify for local listing under Napa HRI Landmark Criterion c. The property does not appear to rise to the level of significance required to qualify for listing in the National or California registers under this criterion.
NRHP Criterion D/CRHR Criterion 4
Archival research provided no indication that the building has the potential to yield information important to the prehistory or history of Napa, California, or the nation. Therefore, it does not appear to be eligible for listing in the National or California registers under Criterion D/4.
The house at 1426 Fourth Street retains its original use as a residence. Therefore, the building retains integrity of association. The building has never been moved and retains integrity of location. Located on the edge of the primarily commercial downtown core, the building's surroundings have generally remained the same over the years, including both commercial and residential properties in the vicinity, and the property retains integrity of setting. The building has not been drastically altered and related functionality of the building is evident, therefore, the building retains integrity of design, materials and workmanship. Integrity of feeling is supported by the fact that the property is still recognizable as an early twentieth-century residence. Overall, the building retains sufficient historic integrity to convey its significance.
1426 Fourth Street appears to be individually eligible for local listing under Napa HRI Landmark Criterion c, and has therefore been assigned a the California Historical Resource Status Code of 5S3, indicating that it appears to be individually eligible for local listing or designation through survey evaluation.
Page 3 of 3 Name # recorder) 1426 Fourth Street Recorded Page & Turnbull, Inc. 9/8/2010
Ancestry.com: Federal Census records, WWI and WWII draft cards, Public Records Indexes, etc.
City of Napa Assessor’s Office: deed records.
City of Napa Building Division: building permits.
Coodley, Lauren and Paula Amen Schmitt. Napa: The Transformation of an American Town. San Francisco, CA: Arcadia Publishing, 2007.
Kilgallin, Anthony. Napa: An Architectural Walking Tour. San Francisco, CA: Arcadia Publishing, 2001. Napa city directories.
The Napa Valley Museum and Lin Weber. Napa. San Francisco, CA: Arcadia Publishing, 2004. Sanborn Fire Insurance maps (1886, 1891, 1901, 1910, 1924, 1949)
Weber, Lin. Old Napa Valley: The History to 1900. St. Helena, CA: Wine Ventures Publishing, 1998.
Weber, Lin. Roots of the Present: Napa Valley 1900 to 1950. St. Helena, CA: Wine Ventures Publishing, 2001.
Page 1 of 2
B1. Historic name: None B2. Common name: None
*NRHP Status Code 6Z
*Resource Name or # 1512 Fourth Street/ 701-705 School Street APN: 003203005000
B3. Original Use: Residential B4. Present use: Commercial
*B5. Architectural Style: None/Altered
*B6. Construction History: (Construction date, alterations, and date of alterations)
Circa 1907: Constructed. 1959: Signage. 1977: Plumbing and underground wiring for commercial building. 1989: Fire repairs. 1996: HVAC. The large second floor addition.
*B7. Moved? No Yes Unknown Date: Original Location:
*B8. Related Features: None
B9a. Architect: Unknown b. Builder: Unknown
*B10. Significance: Theme Downtown residential development Area: Napa, California Period of Significance ca. 1907 Property Type Residential Applicable Criteria N/A (Discuss importance in terms of historical or architectural context as defined by theme, period, and geographic scope. Also address integrity)
The building at 1512 Fourth Street (also addressed 701-705 School Street) was constructed circa 1907. According to the 1901 Sanborn Fire Insurance map, the lot was previously occupied by stables that were likely associated with a single-family residence located at 603 Third Street. The 1910 map shows the subject property as a 1-story over basement, single family dwelling addressed as 212 School Street. The 1925 Sanborn Fire Insurance map shows the subject building has been turned into two flats, addressed as 701 and 705 School Street.
 
    (continued)
B11. Additional Resource Attributes: (List attributes and codes) HP6. 1-3 story commercial building
*B12. References: Ancestry.com: Federal Census records, Public Records Indexes, etc. City of Napa Assessor’s Office: deed records. City of Napa Building Division: building permits.
(continued)
B13. Remarks: None
*B14. Evaluator: Page & Turnbull, Inc. (SF)
*Date of Evaluation: 9/3/2010
(This comments.)
Sketch Map
According to Deed Records, the earliest known owner of the property was John and Ruth Zollner, who owned it prior to 1907. The 1900 Census records show that Zollner lived at 603 Third Street, which is located on the same lot as subject property. Zoller was originally from Germany and came to the United States around 1882. He was employed as a provisions dealer. Census records from 1880 show that Zollner was previously employed as a butcher and had three daughters, Agnes, Ada and Mary. Ada F. Chisholm, Zollner’s second daughter, inherited the property in 1907. It is likely that her father gave her a portion of his lot and built the current building on it for her. The 1910 Census shows that Chisholm lived at 212 School Street, (a past address of the property) with her husband Alfred, a dentist, and children Ruth and Ada. In 1922 A. Arthur Chisholm acquired the property. According to the 1930 Census, Arthur was a dentist. It is likely that he was Alfred’s brother.
In 1925, Arthur Chisholm sold the property to George and Ida Thompson. Sanborn Fire Insurance maps from 1924 show that the building was divided into two flats around this time, addressed as 701 and 705 School Street. According to the 1930 Census, Thompson lived at 705 School Street and was a steam engineer in a packing house. Thompson likely rented 701 School Street to Christian Milton, a book keeper at the naval yard and his wife Alta, a sales lady in a candy store. 1935 City Directories confirm this information.
In 1937, Thompson sold 1512 Fourth Street to Adolph E. Arnitz. He may never have lived at the property. According to World War II draft records, Arnitz lived nearby at 1437 Fourth Street with his wife Elizabeth and he owned Arnitz Hardware Store. Arnitz sold the property to William and Dorothy Tuthill in 1975. City Directories show that working class people occupied the two flats until about 1975. In 1977 the property was acquired by James and Sharon Tate. At that time a permit was filed for plumbing and underground wiring for a commercial building. It is possible that Tate converted the building from residential to commercial during his ownership. Vintage Enterprises bought the building in 1979. The 1986 City Directory shows that the building was occupied by group of marriage and family counselors.
NRHP/CRHR Criterion A/1/a
Constructed circa 1907, the building at 1512 Fourth Street does not appear to be significant for association with events important to the broad patterns of history. The building is located in downtown Napa, which has always been primarily commercial in nature, although the commercial core is surrounded by residential neighborhoods. While the building has been used as both a residence and a commercial space, the building is not significantly associated with development patterns in Downtown to qualify under this criterion. Therefore, 1512 Fourth Street does not appear to be eligible under Criterion A/1/a.
NRHP/CRHR Criterion B/2/b
The building at 1512 Fourth Street does not appear to be eligible for Criterion B/2/b for association with the lives of persons significant to the history of Napa. For much of the building's history, it was a single family residence occupied or owned by various working to middle-class people, but there is no indication that any of the occupants made significant contributions or were otherwise important to Napa's history. Therefore, the property does not have significance under Criterion B/2/b.
NRHP/CRHR Criterion C/3/c, d, e
1512 Fourth Street has been significantly altered since its original construction, and does not exhibit the hallmarks of any particular style. It has a Classical Revival style portico, leaded glass windows and dormers typical of the Craftsman style, and an unusual witch’s cap over the second floor solarium on the southeast corner. Because of its low physical integrity it no longer contributes to the context of early twentieth century residential architecture in Napa. There are other houses of a similar era and style with higher integrity in the neighborhood and city, and 1512 Fourth Street can no longer be considered a good example within the category. Research did not reveal the architect or builder of the house, and ultimately, it does not have the architectural merit necessary to make it significant under Criterion C/3/c, d, e.
NRHP/CRHR Criterion D/4
Archival research provided no indication that the building has the potential to yield information important to the prehistory or history of Napa, California, or the nation. Therefore, it does not appear to be eligible for listing under Criterion D/4.
Over the years, the house at 1512 Fourth Street has been converted from single-family residential use to multiple-family residential use to commercial use. Therefore, it no longer retains integrity of association. The building has never been moved and, so, has strong integrity of location. When constructed, the building was located within an early residential neighborhood. The building's surroundings have changed over the years, with the construction of several commercial buildings and many nearby residences converted to commercial use, and so the property's integrity of setting is compromised. The building has been significantly altered and its integrity of design, materials and workmanship is no longer intact. The building has also lost its integrity of feeling. Overall, the building lacks historic integrity.
Conclusion
1512 Fourth Street does not appear eligible for listing in the national, state, or local registers under any criteria, and has therefore been assigned a California Historical Resource Status Code of 6Z (ineligible for National, California or local designation through survey evaluation).
Coodley, Lauren and Paula Amen Schmitt. Napa: The Transformation of an American Town. San Francisco, CA: Arcadia Publishing, 2007.
Kilgallin, Anthony. Napa: An Architectural Walking Tour. San Francisco, CA: Arcadia Publishing, 2001. Napa city directories.
The Napa Valley Museum and Lin Weber. Napa. San Francisco, CA: Arcadia Publishing, 2004. Sanborn Fire Insurance maps (1886, 1891, 1901, 1910, 1924, 1949)
Weber, Lin. Old Napa Valley: The History to 1900. St. Helena, CA: Wine Ventures Publishing, 1998. Weber, Lin. Roots of the Present: Napa Valley 1900 to 1950. St. Helena, CA: Wine Ventures Publishing, 2001.
Photographs: northwest from corner of Fourth and School streets.Page 1 of 2
B1. Historic name: None
B2. Common name: None
*NRHP Status Code 6Z
*Resource Name or # 1128 Franklin Street APN: 003161001000_0001
B3. Original Use: Residential B4. Present use: Commercial
*B5. Architectural Style: Colonial Revival
*B6. Construction History: (Construction date, alterations, and date of alterations)
Circa 1925: Constructed. 1964: Paneling in two rooms; demolish garage. 1970: Electrical service change. 1975: Undergrounding. 1978: Converted from single family to commercial building without City review. 2003: New roof.
*B7. Moved? No Yes Unknown Date: Original Location:
*B8. Related Features: 1128 Franklin Street shares a lot with a large commercial building at 1339 Pearl Street (1992).
B9a. Architect: Unknown b. Builder: Unknown
*B10. Significance: Theme Downtown residential development
Area: Napa, California Period of Significance ca. 1925 Property Type Residential Applicable Criteria N/A (Discuss importance in terms of historical or architectural context as defined by theme, period, and geographic scope. Also address integrity)
The house at 1128 Franklin Street was constructed circa 1925. According to Sanborn Fire Insurance maps, the building was originally used as a residence, and had an associated detached garage at the rear of the parcel. The remainder of the block featured one and two story single-family residences or flats, representing a transitional zone between the downtown commercial core and the surrounding residential neighborhoods.
According to Deed Records, the earliest known owner of the property was D. J. McDonell, who owned it prior to 1901. McDonell sold the property to J. S. and Inez Hill in 1901. In 1909 Hill sold the property to John Rupert. His wife, Elizabeth inherited the property in 1913. It is possible that the house was constructed by the Ruperts. Anna Friend, John and Elizabeth Rupert’s daughter, inherited the property in 1941. Jewell Friend, likely daughter of Anna, acquired the property in 1954. In 1970, the property was sold to Salvador and Irene Gomez. They were likely responsible for converting the property from residential to commercial in 1978.
(continued)
B11. Additional Resource Attributes: (List attributes and codes) HP2. Single family residence
*B12. References:
Ancestry.com: Federal Census records, Public Records Indexes, etc. City of Napa Assessor’s Office: deed records. City of Napa Building Division: building permits.
(continued)
B13. Remarks: None
*B14. Evaluator: Page & Turnbull, Inc. (SF)
*Date of Evaluation: 9/3/2010
(This space reserved for official comments.)
Sketch Map
*Required
 
    City Directories indicate that the property was always occupied by renters. Lawrence Harris, a barber and his wife Elaine lived at 1128 Franklin Street in 1935. In 1942, E.H. Gardner, a salesman, and his wife Lois lived at the property. Other working to middleclass occupants include Mrs. Ferol Manley, a widow who worked at Napa Savings and Loan as a book keeper in 1967, and Pauline Stombaugh, a secretary for Napa Town & Country Fairgrounds in 1975. City Directories list Salon for Hair as the occupant in 1986.
NRHP/CRHR Criterion A/1/a
Constructed circa 1925, the house at 1128 Franklin Street does not appear to be significant for association with events important to the broad patterns of history. The building is located in downtown Napa, which has always been primarily commercial in nature, although this block historically featured residential uses. 1128 Franklin Street is not associated with the growth of downtown as a commercial center, and was constructed after the establishment of this block as a residential grouping on the outskirts of the commercial core. Therefore, 1128 Franklin Street does not appear to be eligible under Criterion A/1/a.
NRHP/CRHR Criterion B/2/b
The house at 1128 Franklin Street does not appear to be eligible for Criterion B/2/b for association with the lives of persons significant to the history of Napa. For much of the building's history, it was a single family residence occupied or owned by various working-class families, but there is no indication that any of the occupants made significant contributions or were otherwise important to Napa's history. Therefore, the property does not have significance under Criterion B/2/b.
NRHP/CRHR Criterion C/3/c, d, e
The house at 1128 Franklin Street exhibits simple, vernacular bungalow styling with Colonial Revival style detailing. It is a good example of a modestly-sized worker’s cottage, and although it has high physical integrity, it is not an individually outstanding example of a type, period, style, or method of construction, and other examples exist throughout the city. Research did not reveal the architect or builder of the house, and ultimately, it lacks sufficient architectural distinction to qualify under Criterion C/3/c, d, e, nor does it appear to contribute to any potential historic district of similar buildings.
NRHP/CRHR Criterion D/4
Archival research provided no indication that the building has the potential to yield information important to the prehistory or history of Napa, California, or the nation. Therefore, it does not appear to be eligible for listing under Criterion D/4.
The house at 1128 Franklin Street retains its original use as a residence. Therefore, its integrity of association is strong. The building has never been moved and, so, has strong integrity of location. When constructed, the building was located within an early residential neighborhood. The building's surroundings have generally remained the same over the years, with some nearby residences converted to commercial use, and so the property's integrity of setting is good. The building has been minimally altered; therefore its integrity of design, materials and workmanship is strong. Integrity of feeling is supported by the fact that the property is still recognizable as an early twentieth-century residence. Overall, the building retains historic integrity.
Despite fairly strong integrity, 1128 Franklin Street does not appear eligible for listing in the national, state, or local registers under any criteria, and has therefore been assigned a California Historical Resource Status Code of 6Z (ineligible for National, California or local designation through survey evaluation).
Coodley, Lauren and Paula Amen Schmitt. Napa: The Transformation of an American Town. San Francisco, CA: Arcadia Publishing, 2007.
Kilgallin, Anthony. Napa: An Architectural Walking Tour. San Francisco, CA: Arcadia Publishing, 2001. Napa city directories.
The Napa Valley Museum and Lin Weber. Napa. San Francisco, CA: Arcadia Publishing, 2004. Sanborn Fire Insurance maps (1886, 1891, 1901, 1910, 1924, 1949)
Weber, Lin. Old Napa Valley: The History to 1900. St. Helena, CA: Wine Ventures Publishing, 1998. Weber, Lin. Roots of the Present: Napa Valley 1900 to 1950. St. Helena, CA: Wine Ventures Publishing, 2001.
 
    Page 1 of 3
B1. Historic name: None
B2. Common name: None
B3. Original Use: Residential
 
    *B5. Architectural Style: Art Moderne
*NRHP Status Code 6Z
*Resource Name or # 720 Franklin Street APN: 003209008000
B4. Present use: Residential
*B6. Construction History: (Construction date, alterations, and date of alterations)
1940: Constructed. 1960: New construction of sundeck. 1985: Smoke detectors. 2006: Remove and replace two stairways.
*B7. Moved? No Yes Unknown Date: Original Location:
*B8. Related Features: None
B9a. Architect: Unknown b. Builder: Unknown
*B10. Significance: Theme Downtown residential development Area: Napa, California Period of Significance circa 1940 Property Type Commercial Applicable Criteria N/A (Discuss importance in terms of historical or architectural context as defined by theme, period, and geographic scope. Also address integrity)
The four apartment unit, Art Moderne style multiple-family residential building at 720 Franklin Street was constructed in 1940. The 1924 Sanborn Fire Insurance map shows that the lot was previously occupied by a dwelling at 726 Franklin Street, adjacent to the subject property (no longer extant). The 1949 Sanborn Fire Insurance map shows that the previous building was demolished to make way for the subject building
According to deed records, Ernest and Margaret Thormahlen purchased the property from S. Gordon, a real estate investor, and Louise E. Gordon in 1928. 1920 Census records show that Thormahlen was born in Germany and lived in Piedmont, CA where he was leather worker in a saddlery. The 1930 Census shows that the Thormahlen family lived at 726 Franklin Street in Napa (likely in the residence that pre-dated the subject building) and Ernest was the proprietor of a leather store. In 1943, Thormahler sold the property to Leland and Priscilla Houck. Wilma Graham acquired the property in 1945. She sold it to Ralph J. Hudgins in 1951. Samuel and Bertha Muscatine bought the 720 Franklin Street in 1958. According to City Directories, they were the only owner to actually occupy the one of the apartment units in the building. In 1963, the property was sold to Orville and Alice Cohen. They sold the building to Victor and Grace Fershko in 1985. City Directories indicate that the tenants that occupied the building throughout its history were clerks or salespeople. The building is still used as apartments today.
NRHP/CRHR Criterion A/1/a
Constructed in 1940, the multiple-family residential building at 720 Franklin Street does not appear to be significant for association with events important to the broad patterns of history. The neighborhood surrounding the apartment building consists primarily of single-family houses built during the early twentieth century. This multiple-family residential building was constructed well after the initial development of the area and supplanted older houses located on the property. It does not have associations with any major trends of development that occurred later and does not correspond to any major commercial booms that were specific to the area. Therefore, 720 Franklin Street does not appear to be eligible under Criterion A/1.
NRHP/CRHR Criterion B/2/b
The commercial building at 720 Franklin Street does not appear to be eligible for Criterion B/2/b for association with the lives of persons significant to our past. Throughout the building's history, tenants and owners of the building were either working-class or successful merchants. However, they do not appear to have had been sufficiently important to the history of Napa to lend significance to the building that they owned or operated a business in. Therefore, the property does not have significance under Criterion B/2/b.
NRHP/CRHR Criterion C/3/c, d, e
This residential building exhibits Art Moderne architectural styling, including rounded corners, porthole windows, flat cantilevered canopies, and a stucco finish. The building is generally intact and has not undergone any major alterations. However, despite its good physical integrity it is not a sufficiently remarkable example of a type, method, or style of architecture. Additionally, research did not reveal the architect or builder of the building. Ultimately, it does not have the high architectural merit or association with a master architect necessary to make it significant under Criterion C/3/c, d, e.
NRHP/CRHR Criterion D/4
Archival research provided no indication that the building has the potential to yield information important to the prehistory or history of Napa, California, or the nation. Therefore, it does not appear to be eligible for listing under Criterion D/4.
The building at 720 Franklin Street retains its original use as a multiple-family property housing four apartment units. Therefore, its integrity of association is strong. The building has never been moved and, so, has strong integrity of location. When constructed, the building was located within a largely residential neighborhood that has changed to be more commercial in character thus impairing the property's integrity of setting. The building has not been altered; therefore its integrity of design, materials and workmanship is intact. These factors contribute to integrity of feeling, which is supported by the fact that the property is still recognizable as a mid-century apartment building. Overall, the building retains historic integrity.
720 Franklin does not appear eligible for listing in the national, state, or local registers under any criteria, and has therefore been assigned a California Historical Resource Status Code of 6Z (ineligible for National, California or local designation through survey evaluation).
City of Napa Building Division: building permits.
Coodley, Lauren and Paula Amen Schmitt, Napa: The Transformation of an American Town. San Francisco, CA: Arcadia Publishing, 2007.
Kilgallin, Anthony. Napa: An Architectural Walking Tour, San Francisco, CA: Arcadia Publishing, 2001. Napa city directories.
The Napa Valley Museum and Lin Weber, Napa, San Francisco, CA: Arcadia Publishing, 2004. Sanborn Fire Insurance maps (1886, 1891, 1901, 1910, 1924, 1949)
Weber, Lin. Old Napa Valley: The History to 1900. St. Helena, CA: Wine Ventures Publishing, 1998.
Weber, Lin. Roots of the Present: Napa Valley 1900 to 1950. St. Helena, CA: Wine Ventures Publishing, 2001.
Page 1 of
B1. Historic name: None B2. Common name: None
*NRHP Status Code 5S3
*Resource Name or # 920-930 Franklin Street (APN: 0032070080000)
 
    B3. Original Use: Commercial B4. Present use: Commercial
*B5. Architectural Style: Mid-century modern
*B6. Construction History: (Construction date, alterations, and date of alterations)
1949: Constructed. 1964: Sign installed. 1967: Reroofed. 1968: Repair/replacement of ceiling. 1973: Sign installed. 1992: Tenant improvements to office. 2003: Reroofed.
*B7. Moved? No Yes Unknown Date: Original Location:
*B8. Related Features: None.
B9a. Architect: Unknown b. Builder: Unknown
*B10. Significance: Theme Downtown commercial development Area: Napa, California
Period of Significance 1949 Property Type Commercial Applicable Criteria Napa HRI Landmark Criterion c (Discuss importance in terms of historical or architectural context as defined by theme, period, and geographic scope. Also address integrity)
The commercial building at 920-930 Franklin Street was constructed in 1949 on a lot previously occupied by a small dwelling. The 1949 city directory lists three individual residents at the address, suggesting that they were the occupants of a house on the property, while the 1949 Sanborn map shows the current commercial building on the property. This suggests that the dwelling was removed and the commercial building constructed within that year.
In apparent conjunction with the building's construction, the property was purchased by Hugo A. and Virginia M. (Gibb) Zeller from the Maria Burrell family. Nathan F. Coombs is listed in the chain of title because he was Hugo Zeller’s attorney; the property was deeded to Coombs and back to the Zellers for estate planning purposes.
The Zellers also owned property throughout Napa. The family patriarch, Johan A. Zeller had owned the Palace Hotel at Soscol Avenue and Third Street, which was known as the biggest hotel in Napa after the turn of the twentieth century and featured a popular saloon. He also owned the associated Palace Stables, the former Vallejo, Benicia & Napa Valley (VB&NV) Railroad Company car barn, and the property where his son operated Hugo A. Zeller Motors; all situated around Soscol Avenue and Third Street. Hugo A. Zeller operated the Hugo A. Zeller Motors garage as early as 1928 through 1947. City directories specify that the business sold and serviced Buick, Cadillac and LaSalle cars, and GMC trucks. (continued)
Trinomial
Page 2 of 3 Resource Name or # (Assigned by recorder) 920-930 Franklin Street Recorded by Page & Turnbull, Inc. 9/10/2010 (rev. 2/22/2011) Continuation
Johann Zeller also owned a 50-acre prune orchard bounded by Jefferson Street, Trancas Street, Beard Road, and Pueblo Avenue; the area has since been subdivided into a residential tract, and the only remnant of the prune orchard today is the prune dehydrator building. Zeller also owned the Keller-Zeller Ranch in the Fly District of Carneros (now used for salt ponds).
In addition to the Zellers’ stronghold of property at Third and Soscol and agricultural lands, the family also owned a cluster of parcels in downtown Napa, generally situated along Randolph Street. These included Zeller's Hardware at 819 Randolph Street, Napa’s first Safeway at 1315-1319 First Street, the commercial building at 1321 First Street (originally a parking lot for the Safeway), the commercial building at 923-929 Randolph Street, and the subject property at 920-930 Franklin Street.
The present building at 920-930 Franklin Street was seven separate units originally occupied by Raney’s Draperies, a dress shop, the Beauty Box, and a real estate broker’s office. City directories show that a business called Ryken-Zeller Gifts, operated by Hugo and Virginia's daughter, Mary Zeller, and William P. Ryken, was located in the subject building at 920-930 Franklin Street from shortly after the building’s construction, until the late 1980s. Additionally, the Beauty Box was located in the rear two units of the building through 1975. It was first operated by Melvyn L. Cook and later by Joanne Walker. By 1986, the Beauty Box was replaced by Barbara's Hair Alley. The front five units are currently occupied by the offices of CDI builders, and the rear two units are occupied by Annette’s Chocolate and Ice Cream Factory. The property continues to be owned by the Zeller family today (Robert H. Zeller and Mary V. Zeller).
NRHP Criterion A/CRHR Criterion 1/Napa HRI Landmark Criterion a (Events, Patterns and Trends)
Constructed in 1949, the commercial building at 920-930 Franklin Street does not appear to be significant for association with events important to the broad patterns of history. The building is located in downtown Napa, which has always been primarily commercial in nature, although the commercial core is surrounded by residential uses. This commercial building was constructed well after the initial development of the area, however, and supplanted an older house located on the property. It has general associations with the post-World War II building and development boom, but does not have associations with any trends of development that were specific to the area. Therefore, 920-930 Franklin Street does not appear to qualify for listing in the National or California registers or for local listing under Criterion A/1/a.
NRHP Criterion B/CRHR Criterion 2/Napa HRI Landmark Criterion b (Person)
The commercial building at 708-714 First Street does not appear to be significant for association with the lives of persons significant to our past. Since the building's construction, only the Zeller family has owned the property. Although the Zellers are very prominent Napa property owners, business people and citizens, the commercial building at 920-930 Franklin Street is not a prime example of their holdings. Hugo Zeller was primarily known for his automotive-related business ventures and other properties in the city better represent his contributions to the community. Therefore, the property does not appear to qualify for listing in the National or California registers or for local listing under Criterion B/2/b.
NRHP Criterion C/CRHR Criterion 3/Napa HRI Landmark Criteria c,d,e (Design/Construction, Architects)
This commercial building exhibits mid-century architectural styling, including the use of modern materials, overall form, prominent and fully glazed storefront, and tapered columns. The building has not undergone any major alterations and is an excellent example of a mid-century commercial building in Napa. Research did not reveal the architect or builder of the house, but ultimately, it has the architectural merit necessary to qualify for local listing under Napa HRI Landmark Criterion c. The property does not appear to rise to the level of significance required to qualify for listing in the National or California registers under this criterion.
NRHP Criterion D/CRHR Criterion 4
Archival research provided no indication that the building has the potential to yield information important to the prehistory or history of Napa, California, or the nation. Therefore, it does not appear to be eligible for listing in the National or California registers under Criterion D/4.
The building at 920-930 Franklin Street, retains its original use as a commercial property. Therefore, it retains integrity of association. The building has never been moved and retains integrity of location. Located in the primarily commercial downtown core, the building's surroundings have generally remained the same over the years, including both commercial and residential properties in the vicinity, and the property retains integrity of setting. The building has not been drastically altered, and retains integrity of design, materials and workmanship. These factors contribute to integrity of feeling, which is supported by the fact that the property is still recognizable as a mid-century commercial building. Overall, the building retains sufficient historic integrity to convey its significance. (continued)
Page 3 of 3
Resource Name or # (Assigned by recorder) 920-930 Franklin Street Recorded by Page & Turnbull, Inc. 9/10/2010 (rev. 2/22/2011) Continuation
Conclusion
920-930 Franklin Street appears to be individually eligible for local listing under Napa HRI Landmark Criterion c, and has therefore been assigned a the California Historical Resource Status Code of 5S3, indicating that it appears to be individually eligible for local listing or designation through survey evaluation.
 
    Ancestry.com: Federal Census records, WWI and WWII draft cards, Public Records Indexes, etc.
City of Napa Assessor’s Office: deed records. City of Napa Building Division: building permits.
Coodley, Lauren and Paula Amen Schmitt. Napa: The Transformation of an American Town. San Francisco, CA: Arcadia Publishing, 2007.
Kilgallin, Anthony. Napa: An Architectural Walking Tour. San Francisco, CA: Arcadia Publishing, 2001. Napa city directories.
The Napa Valley Museum and Lin Weber. Napa. San Francisco, CA: Arcadia Publishing, 2004. Sanborn Fire Insurance maps (1886, 1891, 1901, 1910, 1924, 1949)
Weber, Lin. Old Napa Valley: The History to 1900. St. Helena, CA: Wine Ventures Publishing, 1998. Weber, Lin. Roots of the Present: Napa Valley 1900 to 1950. St. Helena, CA: Wine Ventures Publishing, 2001. Zeller, Robert H. Letter re: Downtown Specific Plan Area Historic Survey. December 10, 2010
Page 1 of 3
B1. Historic name: None
B2. Common name: Mathis Furniture
*NRHP Status Code 6Z
*Resource Name or # 1326 Main Street APN: 003142014000
B3. Original Use: Commercial B4. Present use: Commercial
*B5. Architectural Style: Modern
*B6. Construction History: (Construction date, alterations, and date of alterations)
Circa 1920: Constructed. 1959: Neon signage. 1960: Neon signage. 1961: Demolish shed. 1961: Addition (second story). 1963: Alteration to storefront. 1965: Demolish shed. 1965: Reroof. 1966: Addition of siding to front of building. 1969: New door. 1972: Addition to commercial store. 1973: Plumbing. 1977: Alterations and lighting. 1983: Reroof. 1993: New awning. 1998: Reroof with tar and gravel. 2002: Reroof with tar and gravel. 2010: Corrugated metal siding removed from building.
 
    *B7. Moved? No Yes Unknown Date: Original Location:
*B8. Related Features: None
B9a. Architect: Unknown b. Builder: Unknown
*B10. Significance: Theme Downtown commercial development Area: Napa, California Period of Significance circa 1920 Property Type Commercial Applicable Criteria N/A (Discuss importance in terms of historical or architectural context as defined by theme, period, and geographic scope. Also address integrity)
1326 Main Street was constructed circa 1920. According to the 1924 Sanborn Fire Insurance map, the building spans two addresses, 1326 and 1336 Main Street, and housed a variety store. After 1949, maps show that the building had a large, flat roofed addition at the rear of the smaller gable-roofed portion that faces main. The storefronts were replaced with angled, modern storefronts in 1963, when the building was occupied by Mathis Furniture. A neon blade sign was installed on the roof at this time.
According to deed records, the Markus and Minnie Klein purchased the building lot from T.N. Mount in 1909. It is possible that the Kleins constructed the subject property on their former residence. 1930 Census records show that the Kleins lived at 1336 Main Street and that Markus worked in general merchandise sales. The 1935 City Directory confirms this information. They sold the property to Aaron and Rose Cohen in 1942. The City Directory for that year shows that the Cohens operated Napa Hardware Company in the building. In 1955, the property was purchased by Virgil and Betty Mathis. City Directories show that they ran a furniture and appliance store. The also made several alterations to the building in the 1960s.
(continued)
B11.
*B12.
Ancestry.com: Federal Census records, WWI and WWII Public Records Indexes, etc. Sketch Map City of Napa Assessor’s Office: deed records. City of Napa Building Division: building permits.
(continued)
B13. Remarks: None
*B14. Evaluator: Page & Turnbull, Inc. (SF)
*Date of Evaluation: 8/30/2010
(This space
CONTINUATION SHEET 2 of 3 Name or # (Assigned by recorder) 1326 Recorded Page Turnbull, Inc. 8/30/2010 Significance
NRHP Criterion A/CRHR Criterion 1/Napa HRI Landmark Criterion a (Events, Patterns and Trends)
Constructed circa 1920, 1326 Main Street does not appear to be significant for association with events important to the broad patterns of history. The building is located in downtown Napa, which has always been primarily commercial in nature. This building was constructed after the initial development of the area, and it does not have associations with any major trends of development that occurred early or later. Therefore, 1326 Main Street does not appear to be eligible under Criterion A/1/a.
NRHP Criterion B/CRHR Criterion 2/Napa HRI Landmark Criterion b (Person)
The commercial building at 1326 Main Street does not appear to be eligible for Criterion B/2 for association with the lives of persons significant to our past. Throughout the building’s history, the owners were likely successful merchants, but they to not appear to have had been sufficiently important to the history of Napa to lend significance to the building that they worked in. Therefore, the property does not have significance under Criterion B/2/b.
NRHP Criterion C/CRHR Criterion 3/Napa HRI Landmark Criteria c,d,e (Design/Construction, Architects)
This building does not exhibit any features of a 1920s commercial building architecture. Its storefronts were dramatically replaced with Modern storefronts in the 1960s, which has diminished its original historic character. Additionally, research did not reveal the architect or builder of the building. Ultimately, it does not have the high architectural merit or association with a master architect necessary to make it significant under Criterion C/3/c, d, e.
NRHP/CRHR Criterion D/4
Archival research provided no indication that the building has the potential to yield information important to the prehistory or history of Napa, California, or the nation. Therefore, it does not appear to be eligible for listing under Criterion D/4.
The building at 1326 Main Street retains its original use as a commercial building. Therefore, its integrity of association is strong. The building has never been moved and, so, has strong integrity of location. The building is located within the commercial core of downtown Napa. This area remains relatively intact and reinforces the property’s integrity of setting. The building has been significantly altered, and therefore its integrity of design, materials and workmanship is impaired. These factors also contribute to lack of integrity of feeling. Overall, 1326 Main Street does not retain historic integrity.
1326 Main Street does not appear eligible for listing in the national, state, or local registers under any criteria, and has therefore been assigned a California Historical Resource Status Code of 6Z (ineligible for National, California or local designation through survey evaluation).
Coodley, Lauren and Paula Amen Schmitt. Napa: The Transformation of an American Town. San Francisco, CA: Arcadia Publishing, 2007.
Kilgallin, Anthony. Napa: An Architectural Walking Tour. San Francisco, CA: Arcadia Publishing, 2001. Napa city directories.
The Napa Valley Museum and Lin Weber. Napa. San Francisco, CA: Arcadia Publishing, 2004. Sanborn Fire Insurance maps (1886, 1891, 1901, 1910, 1924, 1949)
Weber, Lin. Old Napa Valley: The History to 1900. St. Helena, CA: Wine Ventures Publishing, 1998. Weber, Lin. Roots of the Present: Napa Valley 1900 to 1950. St. Helena, CA: Wine Ventures Publishing, 2001.
 
    Page 1 of 2
B1. Historic name: Helsley Furniture Co.
B2. Common name: Normar Fabrics
*NRHP Status Code 6Z
*Resource Name or # 1327 Main Street (APN: 003136003000)
 
    B3. Original Use: Commercial B4. Present use: Commercial
*B5. Architectural Style: Western False Front Commercial
*B6. Construction History: (Construction date, alterations, and date of alterations)
Circa 1900: Constructed. 1985: Reroofing, demolition and interior remodeling. 1998: Reroofing.
*B7. Moved? No Yes Unknown Date: Original Location: *B8. Related Features: None
B9a. Architect: Unknown b. Builder: Unknown
*B10. Significance: Theme Downtown commercial development Area: Napa, California Period of Significance ca. 1900 Property Type Commercial Applicable Criteria N/A (Discuss importance in terms of historical or architectural context as defined by theme, period, and geographic scope. Also address integrity)
The building at 1327 Main Street was constructed around 1900 and first appears on the 1901 Sanborn map, where it is labeled as a hardware and furniture shop with repair and upholstering services at the rear of the building. At the time of its construction, it was owned by Arthur S. Tockey, who had purchased the property from Angus and Mary L. Butters in 1897. Arthur Tockey was a furniture merchant, and it is likely that the subject building was constructed to serve as his shop.
Tockey owned the property until 1923, when he sold it to Howard Helsley. The store remained a furniture shop, but was renamed the Helsley Furniture Co. The store was operated by Howard Helsley and his wife Carrie, until around 1960. At that point, it remained in the Helsley family's ownership, but was leased to other businesses. In the late 1960s, it was the Pastime Club Tavern, operated by Henry Arata and Aldo Micheli. By 1975, it housed Ice Floe Books, operated by Patrick McNeely and Edwin Leighton.
In 1985, the property was purchased by the current owners, David H. and Norma B. Arndt. The Arndts have owned and operated Normar Fabric & Gifts in the building since that time.
(continued)
B11.
*B12. Sketch
B13.
*B14.
*Date
NRHP Criterion A/CRHR Criterion 1/Napa HRI Landmark Criterion a (Events, Patterns and Trends)
Constructed around 1900, the commercial building at 1327 Main Street does not appear to be significant for association with events important to the broad patterns of history. The building is located in downtown Napa, which has always been primarily commercial in nature. This commercial building was constructed during a relatively early stage in the development of the area, and played a part in the general growth and development of the downtown. However, the building does not have sufficient or specific associations with these trends to set it apart as significant. Other, better examples of turn-of-the-century commercial architecture are present in downtown Napa and are better able to convey their place in the timeline of Napa's development, than this building, which has been altered. Therefore, 1327 Main Street does not appear to qualify for listing in the National or California registers or for local listing under Criterion A/1/a.
NRHP Criterion B/CRHR Criterion 2/Napa HRI Landmark Criterion b (Person)
The commercial building at 1327 Main Street does not appear to be significant for association with the lives of persons significant to our past. Over the course of the building's early history, it was owned by two parties, Arthur Tockey and Howard Helsley, both of whom were furniture merchants. Although they were likely prominent businessmen, neither owner, nor any subsequent owners or tenants appear to have made important contributions to commerce in Napa. Therefore, the property does not appear to qualify for listing in the National or California registers or for local listing under Criterion B/2/b.
NRHP Criterion C/CRHR Criterion 3/Napa HRI Landmark Criteria c,d,e (Design/Construction, Architects)
This commercial building exhibits early twentieth-century commercial styling that takes a Western False Front form. It is not a prime example of the form or style, however, and other better examples exist throughout Napa. Although not documented in building permit records, the building also appears to have undergone some alterations that seem to have diluted its true circa 1900 architectural style, so that it appears to have been constructed later in the century. Additionally, research did not reveal the architect or builder of the building. Ultimately, it does not have high architectural merit or association with a master architect to qualify for listing in the National or California registers or for local listing under Criterion C/3/c,d,e.
NRHP Criterion D/CRHR Criterion 4
Archival research provided no indication that the building has the potential to yield information important to the prehistory or history of Napa, California, or the nation. Therefore, it does not appear to be eligible for listing in the National or California registers under Criterion D/4.
The building at 1327 Main Street retains its original use as a commercial property housing a retail shop space. Therefore, retains integrity of association. The building has never been moved and retains integrity of location. Located in the primarily commercial downtown, the building's surroundings have generally remained the same over the years and the property retains integrity of setting. The building appears to have undergone undocumented alterations that obscure its true age and architectural style, and therefore the building does not retain integrity of materials and workmanship. However, the overall design intent and related functionality of the building is evident and the building retains integrity of design. Due to significant alterations, the property is not readily recognizable as a turn-of-the-century commercial building and therefore does not retain integrity of feeling. Overall, the building does not retain historic integrity.
1327 Main Street does not appear eligible for listing in the national, state, or local registers under any criteria, and has therefore been assigned the California Historical Resource Status Code of 6Z, indicating that it has been found ineligible for National, California or local designation through survey evaluation.
Page 3 of Name recorder) 1327 Recorded Page & Turnbull, Inc.
Ancestry.com: Federal Census records, WWI and WWII draft cards, Public Records Indexes, etc.
City of Napa Assessor’s Office: deed records.
City of Napa Building Division: building permits.
 
    Coodley, Lauren and Paula Amen Schmitt. Napa: The Transformation of an American Town. San Francisco, CA: Arcadia Publishing, 2007.
Kilgallin, Anthony. Napa: An Architectural Walking Tour. San Francisco, CA: Arcadia Publishing, 2001. Napa city directories.
The Napa Valley Museum and Lin Weber. Napa. San Francisco, CA: Arcadia Publishing, 2004. Sanborn Fire Insurance maps (1886, 1891, 1901, 1910, 1924, 1949)
Weber, Lin. Old Napa Valley: The History to 1900. St. Helena, CA: Wine Ventures Publishing, 1998.
Weber, Lin. Roots of the Present: Napa Valley 1900 to 1950. St. Helena, CA: Wine Ventures Publishing, 2001.
Page 1 of 2
B1. Historic name: Napa Grocery & Meat Market
B2. Common name: Shackford's Kitchen Store & More
B3. Original Use: Commercial
*B5. Architectural Style: Art Deco
*NRHP Status Code 6Z
*Resource Name or # 1350 Main Street (APN: 003142001000)
 
    B4. Present use: Commercial
*B6. Construction History: (Construction date, alterations, and date of alterations)
1936: Constructed. 1959: Sign installed. 1965: Construction of new warehouse (rear addition), electrical. 1975: Sign installed. 1991-1992: Addition (rear) for commercial storage, street trees installed. 2001: Damaged awning replaced, reroofed. 2004: Reroofed.
*B7. Moved? No Yes Unknown Date: Original Location:
*B8. Related Features: None
B9a. Architect: Unknown
b. Builder: Unknown
*B10. Significance: Theme Downtown commercial development Area: Napa, California
Period of Significance 1936 Property Type Commercial Applicable Criteria N/A (Discuss importance in terms of historical or architectural context as defined by theme, period, and geographic scope. Also address integrity)
The building at 1350 Main Street was constructed in 1936 and supplanted a house that was located on the lot previously. The property had been owned since 1922 by Balbina J. Costa Santos, who was responsible for the erection of the subject building. The 1930 Census indicates that Santos was a Portuguese immigrant who had come to the United States in 1899. She was a divorcee and worked as a dressmaker from her home on Napa Street. She does not appear to have lived in the house that was located at 1350 Main Street prior to 1936, nor does she appear to have operated her dressmaking business in the current building. In the late 1930s it was occupied by the Napa Grocery & Meat Market, which remained through the late 1940s. In 1959, the building stood vacant, and by 1967, was occupied by Krug's Napa Hardware, owned and operated by Albert and Eunice Krug.
Santos died in 1969 and in 1971, ownership of the property was transferred to Frank C. Lucas, Santos' son. By 1975, the building had come to be occupied by Shackford Hardware, which was owned and operated by John D. and Donna J. Shackford. Although deed records do not substantiate it, the Shackford's may have purchased the property around this time. Eventually, the Shackford's business transitioned from hardware to kitchenware. In 1986, the shop was known as Shackford's Kitcheware and today it is known as Shackford's Kitchen Store & More. Donna Shackford is the current property owner.
CONTINUATION SHEET 2 Name Turnbull,
NRHP Criterion A/CRHR Criterion 1/Napa HRI Landmark Criterion a (Events, Patterns and Trends)
Constructed in 1936, the commercial building at 1350 Main Street does not appear to be significant for association with events important to the broad patterns of history. The building is located in downtown Napa, which has always been primarily commercial in nature. This commercial building was constructed well after the initial development of the area and supplanted an older house located on the property. It does not have associations with any major trends of development that occurred and does not correspond to any major commercial booms that were specific to the area. Therefore, 1350 Main Street does not appear to qualify for listing in the National or California registers or for local listing under Criterion A/1/a.
NRHP Criterion B/CRHR Criterion 2/Napa HRI Landmark Criterion b (Person)
The commercial building at 1350 Main Street does not appear to be eligible for association with the lives of persons significant to our past. For the majority of its history, the building was owned by Balbina Santos, a dressmaker. Later it was owned by her son and, then, the current owners. It was also occupied by a few tenants in addition to its owners. One of the tenants, Albert and Eunice Krug, may have been related to the Charles Krug family, famous for wine making in the Napa Valley. However, no records substantiated this connection and it is unlikely that Albert and Eunice Krug would be considered significant merely for their relation to Charles Krug. Although the owners and tenants of 1350 Main Street played a part in Napa's commerce, none of them appear to have made important contributions to Napa's history. Therefore, the property does not appear to qualify for listing in the National or California registers or for local listing under Criterion B/2/b.
NRHP Criterion C/CRHR Criterion 3/Napa HRI Landmark Criteria c,d,e (Design/Construction, Architects)
The commercial building exhibits simplified Art Deco styling. Its construction date of 1936 is rather late for this style, however, and it is not an expressive example of Art Deco aesthetics. Other better examples of the style exist throughout Napa; for instance, the former Oberon Bar (now Downtown Joe's) at 902 Main Street, or the rear addition of the Wells Fargo Bank at 901 Main Street. Additionally, research did not reveal the architect or builder of the building. Ultimately, it does not appear to qualify for listing in the National or California registers or for local listing under Criterion C/3/c,d,e.
NRHP Criterion D/CRHR Criterion 4
Archival research provided no indication that the building has the potential to yield information important to the prehistory or history of Napa, California, or the nation. Therefore, it does not appear to be eligible for listing in the National or California registers under Criterion D/4.
The building at 1350 Main Street, retains its original use as a commercial property housing a retail shop. Therefore, the property retains integrity of association. The building has never been moved and retains integrity of location. Located in the primarily commercial downtown, the building's surroundings have generally remained the same over the years and the property retains integrity of setting. The building has not undergone many alterations, and none that obscure its original architectural style or function, therefore integrity of design, materials and workmanship are retained. Integrity of feeling is supported by the fact that the property is readily recognizable as an early twentieth century commercial building. Overall, the building retains historic integrity.
1350 Main Street does not appear eligible for listing in the national, state, or local registers under any criteria, and has therefore been assigned the California Historical Resource Status Code of 6Z, indicating that it has been found ineligible for National, California or local designation through survey evaluation.
CONTINUATION SHEET 3 of Name 1350 Recorded Page & Turnbull, Inc.
Ancestry.com: Federal Census records, WWI and WWII draft cards, Public Records Indexes, etc.
City of Napa Assessor’s Office: deed records.
City of Napa Building Division: building permits.
Coodley, Lauren and Paula Amen Schmitt. Napa: The Transformation of an American Town. San Francisco, CA: Arcadia Publishing, 2007.
Kilgallin, Anthony. Napa: An Architectural Walking Tour. San Francisco, CA: Arcadia Publishing, 2001. Napa city directories.
The Napa Valley Museum and Lin Weber. Napa. San Francisco, CA: Arcadia Publishing, 2004. Sanborn Fire Insurance maps (1886, 1891, 1901, 1910, 1924, 1949)
Weber, Lin. Old Napa Valley: The History to 1900. St. Helena, CA: Wine Ventures Publishing, 1998. Weber, Lin. Roots of the Present: Napa Valley 1900 to 1950. St. Helena, CA: Wine Ventures Publishing, 2001.
Primary façade of 1350 Main Street, view east from Main Street. & Turnbull 2010)
 
    Page 1 of 3
B1. Historic name: N/A
B2. Common name: N/A
B3. Original Use: Commercial B4. Present use: Commercial
*B5. Architectural Style: Art Moderne
*NRHP Status Code 6Z
*Resource Name or # 1142-46 Main Street (APN 003172010000)
 
    *B6. Construction History: (Construction date, alterations, and date of alterations)
1940: building constructed. 1961: awning installed. 1963: marquee added. 1980: commercial remodel. 1981: commercial divider walls added. 1986. Roof replaced. 1987: gas and kiln installed. 1991: Roof replaced. 1997: awning installed. 1999: façade renovation, roof replaced with tar and gravel. 2004: insertion of walls to create dressing rooms.
*B7. Moved? No Yes Unknown Date: Original Location:
*B8. Related Features: None
B9a. Architect: Unknown b. Builder: Unknown
*B10. Significance: Theme Downtown commercial development Area: Napa, California
Period of Significance 1940 Property Type Commercial Applicable Criteria N/A
(Discuss importance in terms of historical or architectural context as defined by theme, period, and geographic scope. Also address integrity)
The building at 1142-46 Main Street was constructed in 1940 as a 1-story commercial building at the southeast corner of Main and Pearl Streets. Sanborn Fire Insurance maps show that the subject parcel was occupied by a gasoline and oil station (addressed as 995 Pearl Street) prior to the construction of the commercial building in 1940. Sanborn maps do not clearly indicate if the second story parapet portion of the building, addressed as 1142 Main Street, was original construction or an early addition. The 1949 Sanborn map shows that the building included three storefronts on Main Street (originally addressed as 1144, 1146 and 1148 Main Street). (Note: these storefronts are now addressed as 1142, 1144 and 1146 Main Street respectively). At this time, the remainder of the block bounded by Main, Pearl, West, and First Streets contained numerous commercial buildings along the east side of Main Street, a few garages on the eastern portion of the block, and Napa Creek ran through the southern portion of the block. Numerous commercial buildings lined the west side of Main Street at this time and residential buildings surrounded the subject block to the north and east. Today, many commercial buildings from the early twentieth century remain and this area is part of Napa’s downtown commercial core.
Page 2 of Name recorder) 1142-46 Recorded Turnbull, Inc.
Deed records, building permits and city directories do not indicate the original owner of the building. Ownership can be traced back to the early 1960s and is outlined below:
1961-1965 Mr. Liu (1146 Main Street)
1965 -1977 Virgil G. and Betty M. Mathis
1977-1978 Daniel L. and Susan Ohlson (1/2 interest) and Gerald L. and Judith Nunn (1/2 interest) 1978 to Napa Community Redevelopment Agency.
1980 City of Napa/Main Street Arts
1981-1986 Napa Landmarks
1987 Napa Valley College
1991-1997 Napa Community Development
1999 Richard D. and Mary Williams (House of Bread)
1999-2008 Rebecca Lee Trust (1146 Main Street)
2008 Bloom Creative Hair Design
There were a variety of commercial tenants for the property throughout its history. City directories provide partial information, including listings for the following tenants:
1142 Main Street
No listings prior researched. 2010: Annalieu Contemporary Vietnamese Cuisine.
1144 Main Street
1942: no listing. 1949: Lui’s Beauty Shop. 1959: Lui’s Giftshop and Lui’s House of Beauty. 1967: Lui’s Giftshop, Lui’s House of Beauty. 1975: Lui’s Giftshop, Lui’s House of Beauty. 1986: Napa Valley Arts Council, Napa Valley Stage Co. 2010: Bloom Creative Hair Design.
1146 Main Street
1942: no listing. 1949: no listing. 1959: no listing. 1967: no listing. 1975: Superior Paint + Window Coverings (Neil Smith, manager). 1986: vacant. 2010: Bloom Creative Hair Design.
1148 Main Street
1942: no listing. 1949: no listing. 1959: Brewster’s Army + Navy Store. 1967: Brewster’s Army + Navy General Merchandise. 1986: Napa Landmarks, Inc., Napa Valley Opera House org. 2010: no listing.
NRHP Criterion A/CRHR Criterion 1/Napa HRI Landmark Criterion a (Events, Patterns and Trends)
Constructed in 1940, the commercial building at 1142-1146 Main Street does not appear to be significant for its association with events or trends important to the history of Napa. The building is located in Napa’s downtown commercial core, which developed in the late nineteenth and early twentieth century. Commercial development in this area took place prior to the construction of 11421146 Main Street, and the subject property did not contribute significantly to the early development of the neighborhood. Therefore, 1142-1146 Main Street does not appear to be eligible under Criterion A/1/a.
NRHP Criterion B/CRHR Criterion 2/Napa HRI Landmark Criterion b (Person)
The commercial building at 1142-1146 Main Street does not appear to be significant for association with the lives of persons significant to our past. Throughout the building's history, it was a commercial building owned and occupied by a variety of commercial vendors, but there is no indication that any of the owners/tenants made significant contributions or were otherwise important to Napa's history. Therefore, the building at 1142-1146 Main Street does not appear to be eligible under Criterion B/2/b.
NRHP Criterion C/CRHR Criterion 3/Napa HRI Landmark Criteria c,d,e (Design/Construction, Architects)
The commercial building at 1142-1146 Main Street exhibits characteristics of the Art Moderne style and is a good example of a twentieth century commercial property in Napa. However, the property is not a sufficiently remarkable example of a type, method, or style of architecture, and higher-quality examples of this style exist throughout Napa. Additionally, research did not reveal the architect or builder of the building. Ultimately, 1142-1146 Main Street does not have the high architectural merit or association with a master architect and does not appear to be eligible for listing under Criterion C/3/c,d,e.
NRHP Criterion D/CRHR Criterion 4
Archival research provided no indication that the building has the potential to yield information important to the prehistory or history of Napa, California, or the nation. Therefore, it does not appear to be eligible for listing under Criterion D/4.
The building at 1142-1146 Main Street retains its original use as a commercial property and therefore the building retains integrity of association with commercial development trends. The building has never been moved and, so, retains integrity of location. When constructed, the building was located along the northeast edge of the commercial core of Napa’s downtown district. Today, this area continues to be characterized largely by commercial uses. Due to this continuation of commercial use and the existence of many historic commercial buildings in the surrounding neighborhood, the building retains integrity of setting. The building has undergone several changes over time, including an exterior façade remodel, addition of awnings, interior commercial remodels, and normal repair to the roof and other building features. As a result, the building does not retain integrity of materials or workmanship. The overall character, scale, massing and Art Moderne style of the original building is evident. Therefore, the building retains integrity of design. Integrity of feeling is supported by the fact that the property is still recognizable as an Art Moderne style commercial building, and therefore retains integrity of feeling. Overall, the building retains historic integrity.
Due to lack of significance, the building at 1142-1146 Main Street does not appear eligible for listing in the national, state, or local registers under any criteria, and has therefore been assigned a California Historical Resource Status Code of 6Z (ineligible for National, California or local designation through survey evaluation).
Ancestry.com: Federal Census records, WWI and WWII draft cards, Public Records Indexes, etc.
City of Napa Assessor’s Office: deed records.
City of Napa Building Division: building permits.
Coodley, Lauren and Paula Amen Schmitt. Napa: The Transformation of an American Town. San Francisco, CA: Arcadia Publishing, 2007.
Kilgallin, Anthony. Napa: An Architectural Walking Tour. San Francisco, CA: Arcadia Publishing, 2001. Napa city directories.
The Napa Valley Museum and Lin Weber. Napa. San Francisco, CA: Arcadia Publishing, 2004. Sanborn Fire Insurance maps (1886, 1891, 1901, 1910, 1924, 1949)
Weber, Lin. Old Napa Valley: The History to 1900. St. Helena, CA: Wine Ventures Publishing, 1998.
Weber, Lin. Roots of the Present: Napa Valley 1900 to 1950. St. Helena, CA: Wine Ventures Publishing, 2001.
 
    Page 1 of 3
B1. Historic name: N/A
B2. Common name: Napa Firefighters Museum
*NRHP Status Code 5S3
*Resource Name or # 1201 Main Street (APN 003137005000)
 
    B3. Original Use: Commercial B4. Present use: Institutional (Museum)
*B5. Architectural Style: Art Deco
*B6. Construction History: (Construction date, alterations, and date of alterations)
Ca. 1940: building constructed. 1967: roof replaced. 1973: unspecified remodel. 1994: signage installed for Firefighters Museum 1996: roof replaced with built-up materials.
*B7. Moved? No Yes Unknown Date: Original Location:
*B8. Related Features: Parking lot
B9a. Architect: Unknown b. Builder: Unknown
*B10. Significance: Theme Downtown commercial development Area: Napa, California Period of Significance ca. 1940 Property Type Commercial Applicable Criteria Napa HRI Landmark Criterion c (Discuss importance in terms of historical or architectural context as defined by theme, period, and geographic scope. Also address integrity)
The building at 1201 Main Street was constructed in circa 1940 as a 1-story commercial building at the northwest corner of Main and Pearl Streets. Sanborn Fire Insurance maps show that the subject parcel was occupied by a 1-story dwelling (addressed as 1207 Main Street) prior to the construction of the commercial building in circa 1940. Exact records were not uncovered to precisely date the construction of the building, which occurred prior to the creation of the 1949 Sanborn Fire Insurance map. The 1949 Sanborn map shows that the building included a single storefront facing Main Street. At this time, the remainder of the block bounded by Main, Pearl, Brown and Clinton Streets contained three additional commercial buildings along Pearl Street, a parking lot in the center, and a few scattered auto and storage structures. Napa Creek flowed through the western portion of the block. a few garages on the eastern portion of the block, and Napa Creek ran through the southern portion of the block (dry in the summer months). Numerous commercial buildings lined Main Street to the south and surrounding blocks contained a mix of residential and commercial buildings. Today, many commercial buildings from the early twentieth century remain and this area is part of Napa’s downtown commercial core.
(continued)
*B12.
*B14.
*Date
Deed records indicate that a circa 1880 dwelling occupied the lot prior to the construction of the commercial building. In the early twentieth century, the property was owned by Elizabeth Shwarz, who transferred the property to William, David and Max Shwarz in 1914. Upon David Shwarz’s death, the property transferred to William Shwarz et al. The owner of the property was listed in deed records as H. Shwarz Co. (owners of a hardware store originally located on Main Street between the Winship Building and the Oberon Building, constructed in 1906 and no longer extant). Ownership of the H. Shwarz Co. was shared by Muriel Hilda Grauss, Henrietta Elizabeth Green, Helen Shwarz Hullquist, and Minnie Shwarz Larsen, in 1954. In 1969, the property was purchased by P/M/ Quien Auto Parts Inc. Virgil G. Cugaude, Howard B. and Morgie L. Peterson, Arthur T. and Barbara A. Stewart, and Henry A. and Inge M. Musko purchased the property in 1974. The Napa Community Redevelopment Agency took over ownership in 1976 and is the current owner of the property. The building is currently occupied by the Napa Firefighter’s Museum.
There were only a few commercial tenants listed in city directories for the property throughout its history, including the following:
1201 Main Street (originally addressed as 1207 Main Street prior to 1959) 1942: Purity Stores (Robert Hamilton, manager). 1949: Purity Stores (grocery).
Note: the address of the building was 1207 Main Street until sometime prior to 1959). 1959: Napa Appliance and Radio (William E Brooks, manager). 1967: Bulotti’s Grocery. 1975: P.M. Quien Auto Parts (Arthur Stewart, Jr., manager). 1986: Valley Exchange (giftshop) (Annie Bush, manager). 2010: Napa Firefighters Museum.
NRHP Criterion A/CRHR Criterion 1/Napa HRI Landmark Criterion a (Events, Patterns and Trends)
Constructed in circa 1940, the commercial building at 1201 Main Street does not appear to be significant for its association with events or trends important to the history of Napa. The building is located in Napa’s downtown commercial core, which developed in the late nineteenth and early twentieth century. The commercial development in this area took place prior to the construction of the subject property and the subject property did not contribute significantly to the early development of the neighborhood. Therefore, 1201 Main Street does not appear to be eligible under Criterion A/1/a.
NRHP Criterion B/CRHR Criterion 2/Napa HRI Landmark Criterion b (Person)
The commercial building at 1201 Main Street does not appear to be significant for association with the lives of persons significant to our past. Throughout the building's history, it was a commercial building owned and occupied by a variety of commercial vendors, but there is no indication that any of the owners/tenants made significant contributions or were otherwise important to Napa's history. Therefore, the building at 1201 Main Street does not appear to be eligible under Criterion B/2/b.
NRHP Criterion C/CRHR Criterion 3/Napa HRI Landmark Criteria c,d,e (Design/Construction, Architects)
The building at 1201 Main Street is an excellent example of a commercial building with Art Deco details in downtown Napa. The building was constructed slightly later than neighboring commercial buildings, which were constructed in the late nineteenth and early twentieth century. However, the building still exemplifies this building type and architectural style: an early 1940s 1-story commercial building. Its massing, stepped parapet, and scored concrete details are typical elements of the Art Deco style. 1201 Main Street therefore appears to be eligible for listing in the local register under Criterion c. Research did not reveal the architect or builder of the building such that would warrant consideration of the building as work of a master under local Criterion d, and the building is not a rare example and therefore not eligible under local Criterion e. The significance of the property does not rise to the level of significance required for listing in the National Register under Criterion C or the California Register under Criterion 3.
Archival research provided no indication that the building has the potential to yield information important to the prehistory or history of Napa, California, or the nation. Therefore, it does not appear to be eligible for listing under Criterion D/4.
The building at 1201 Main Street has been converted to institutional use as the Napa Firefighters Museum, yet retains its original commercial appearance and therefore the building retains integrity of association with commercial development themes. The building has never been moved and, so, retains integrity of location. When constructed, the building was located along the northeast edge of the commercial core of Napa’s downtown district. Today, this area continues to be characterized by largely commercial uses. Due to this continuation of commercial use and the existence of many historic commercial buildings in the surrounding neighborhood, the building retains integrity of setting. The building has undergone very few changes over time, limited to interior commercial remodels, and normal repair to the roof. The overall character, scale, massing and style of the original building are evident, and the building therefore retains integrity of design, materials and workmanship. Additionally, the building’s integrity of feeling is supported by the fact that the property is still recognizable as an early twentieth century commercial building. Overall, the building possesses sufficient historic integrity to convey its significance under local register Criterion c.
The building at 1201 Main Street appears to be eligible for listing in the local register as a Landmark Property under Napa HRI Landmark Criterion c. The building retains sufficient historic integrity to convey its significance under this criterion. The building has therefore been assigned a California Historical Resource Status Code of 5S3 (appears to be individually eligible for local listing or designation through survey evaluation).
Ancestry.com: Federal Census records, WWI and WWII draft cards, Public Records Indexes, etc.
City of Napa Assessor’s Office: deed records.
City of Napa Building Division: building permits.
Coodley, Lauren and Paula Amen Schmitt. Napa: The Transformation of an American Town. San Francisco, CA: Arcadia Publishing, 2007.
Kilgallin, Anthony. Napa: An Architectural Walking Tour. San Francisco, CA: Arcadia Publishing, 2001.
Napa city directories.
The Napa Valley Museum and Lin Weber. Napa. San Francisco, CA: Arcadia Publishing, 2004.
Sanborn Fire Insurance maps (1886, 1891, 1901, 1910, 1924, 1949)
Weber, Lin. Old Napa Valley: The History to 1900. St. Helena, CA: Wine Ventures Publishing, 1998.
Weber, Lin. Roots of the Present: Napa Valley 1900 to 1950. St. Helena, CA: Wine Ventures Publishing, 2001.
 
    Page 1 of 4
B1. Historic name: Grinsell Building
B2. Common name: Lazarus Building; Lazarus-Grinsell Building
B3. Original Use: Commercial B4. Present use: Commercial
*B5. Architectural Style: Art Moderne
*NRHP Status Code 5S3
*Resource Name or # 1202-14 Main St/950-80 Pearl St (APN 003143009000)
 
    *B6. Construction History: (Construction date, alterations, and date of alterations)
1947: building constructed. 1958: unspecified repairs and commercial alterations for restaurant use. 1961: unspecified commercial alterations. 1966: roof replaced. 1976: roof replaced. 1977: unspecified commercial alterations. 1980: awning added. 1983: roof repairs. 1986: flood repairs/interior remodel (sheet rock and wiring). 1988: roof replaced. 1993: unspecified interior alterations and remodel, and commercial kitchen alterations. 1994: awning added. 2002: awning added.
*B7. Moved? No Yes Unknown Date: Original Location:
*B8. Related Features: None
B9a. Architect: Unknown
b. Builder: Unknown
*B10. Significance: Theme Downtown commercial development Area: Napa, California
Period of Significance 1936 Property Type Commercial Applicable Criteria Napa HRI Landmark Criterion c (Discuss importance in terms of historical or architectural context as defined by theme, period, and geographic scope. Also address integrity)
The Lazarus Building (or Grinsell Building) at 1202-14 Main Street/950-80 Pearl Street was constructed circa 1947 by owner Wood Grinsell as a 1-story, 9-unit commercial building at the northeast corner of Main and Pearl Streets. Sanborn Fire Insurance maps show that prior to the construction of the Lazarus-Grinsell Building the subject parcel was originally occupied by a lodging house, dwellings and portions of a wood yard. The 1949 Sanborn map shows that the Lazarus-Grinsell Building included two storefronts on Main Street (1202 and 1210 Main Street) and six storefronts on Pearl Street (950, 964, 966-968, 972, 976, and 980 Pearl Street). At this time, the remainder of the block bounded by Main, Clinton, West and Pearl Streets contained two other commercial buildings: one next door at 1214-1214A Main Street and another at the corner of Main and Clinton Streets addressed as 1246 Main Street. The block also included nine 1-story dwellings along the perimeter of the block, and two auto garages in the center of the block to the rear of the dwellings (no longer extant). Today, many commercial buildings from the early twentieth century remain and this area is part of Napa’s downtown commercial core.
Trinomial
Resource Name or # (Assigned by recorder) 1202-14 Main St/950-80 Pearl St Recorded by Page & Turnbull, Inc.
Page 2 of 4
*Date 09/15/2010 (rev. 2/22/2011) Continuation Update
Deed records indicate that the parcel was sold to Charles Baracco Senior and Julius F. Baracco by Matilda Christin in 1932. Charles Baracco Senior sold the property to Julius F. Baracco in 1934, who subsequently sold it to Ernest G. and Helen Goetze in 1939. The Goetzes sold the property to Kurt K. and Gladys D. Stohsner in 1944, who sold it to George Wood and Helen Patricia Grinsell in 1945. The Grinsells erected the building, and sold the property to Lazarus Enterprises and partner Albert S. Trabucci in 1954, which began the long-term association of the Lazarus name with the property. According to a December 1953 Napa Valley Register article, the property was purchased from Mr. Grinsell by Joseph Lazarus for $100,000. Nathan L. and Jacqueline May Lazarus obtained ownership of the property in 1961. The current property owners are listed as the Nathan L. and Marilyn S. Lazarus Trust. No information was available about Lazarus.
1202-14 Main Street/950-80 Pearl Street has had a variety of tenants throughout its history. Former commercial tenants of the property are listed below and organized by storefront address:
1202 Main Street
1949: W.E. Brooks (appliances and appliances).
1959: Johnson’s Elec. Contractors. 1967: Sampson-Rossi Company (pumps). 1975: Jacqueline’s Gifts. 1986: Witter’s Tea and Coffee Company (owner Edwin Witter).
1210 Main Street
1949: Napa News Agency. 1959: Johansen Furniture. 1967: Frank Janitorial Maintenance & Supply Co. 1975: vacant. 1986: Mel Pierce Camera (Thomas Schardt, manager).
1214 Main Street
1949: Harry Thanos (barber and liquors). 1959: Johansen & Lazarus (real estate). Johnson & Lazarus Real Estate. 1975: vacant. 1986: Rosita Taqueria (Guillerno Corona, manager).
950 Pearl Street
1949: Napa Carburetor and Electric. 1959: Washington Square Mattress & Upholstery Co. 1967: Mulligan’s Mattress Company. 1975: Napa Auto Parts. 1986: Napa Auto Parts/ Clark & Son Auto Machine Shop. 2010: Napa Valley Service Center.
964 Pearl Street
1949: Napa Merchandise Mart. 1959: Shoffeitt’s Better Living Plan (frozen freezers) and Shoffeitt’s Frozen Foods. 1967: Pretender’s Playhouse. 1975: Pretender’s Playhouse Theater Group. 1986: Suite A: Adnan Sallam (custom tailor), B: Adnan Sallam, C; Property Management & Maintenance Inc., D: J.V. Brenner (office), E: vacant, F: The Learning Faire, G: The Learning Faire (children’s books and toys).
966 Pearl Street
1949: no listing. 1959: Snyder’s Lowe Sporting Goods. 1967: no listing. 1975: no listing. 1986: no listing.
968 Pearl Street
1949: Emmanuel Crummett (barber). 1959: Gene’s Barber Shop. 1967: vacant. 1975: Valley Barber Shop. 1986: Emily’s Beauty Salon.
972 Pearl Street
1949: Empire Office Machine Company. 1959: vacant. 1967: Napa Sign Shop. 1975: Napa Sign Shop. 1986: Napa Sign Shop (Rodney W. Kirkland).
976 Pearl
1949: no listing. 1959: no listing. 1967: no listing. 1975: Fixit Shop. 1986: Le Crepe (restaurant).
978 Pearl Street
1949: V.W. Johansen (motors). 1959: American National Red Cross. 1967: American National Red Cross. 1975: no listing. 1986: no listing.
980 Pearl Street
1949: L.F. Ayers (paint). 1959: Gardner’s Health Foods. 1967: Moby’s Health Foods. 1975: Moby’s Health Foods. 1986: vacant.
Page 3 of 4
Trinomial
Resource Name or # (Assigned by recorder) 1202-14 Main St/950-80 Pearl St
*Date 09/15/2010 (rev. 2/22/2011) Continuation  Update Evaluation
*Recorded by Page & Turnbull, Inc.
NRHP Criterion A/CRHR Criterion 1/Napa HRI Landmark Criterion a (Events, Patterns and Trends)
Constructed circa 1947, the Lazarus-Grinsell Building at 1202-14 Main Street/950-80 Pearl Street does not appear to be significant for its association with events or trends important to the history of Napa. The building is located in Napa’s downtown commercial core, which developed in the late nineteenth and early twentieth century. The commercial development in this area took place prior to the construction of the Lazarus-Grinsell Building, and the subject property did not contribute significantly to the early development of the neighborhood. Therefore, 1202-14 Main Street/950-80 Pearl Street does not appear to be eligible under Criterion A/1/a.
NRHP Criterion B/CRHR Criterion 2/Napa HRI Landmark Criterion b (Person)
The commercial building at 1202-14 Main Street/950-80 Pearl Street does not appear to be significant for association with the lives of persons significant to our past. Throughout the building's history, it was a commercial building owned and occupied by a variety of commercial vendors, but there is no indication that any of their members made significant contributions or were otherwise important to Napa's history. The Lazarus name has long been associated with the property, however, no information was uncovered to indicate that Lazarus made a signifincant contribution to the history of Napa. Similarly, the property’s original owners, the Grinsell family, does not appear to qualify under this criterion. Therefore, the building at 1202-14 Main Street/950-80 Pearl Street does not appear to be eligible under Criterion B/2/b.
NRHP Criterion C/CRHR Criterion 3/Napa HRI Landmark Criteria c,d,e (Design/Construction, Architects)
The Lazarus-Grinsell Building at 1202-14 Main Street/950-80 Pearl Street is an excellent example of an Art Moderne building in downtown Napa. The building was constructed slightly later than neighboring commercial buildings, which were constructed in the late nineteenth and early twentieth century, but it is a good example of a building type and architectural style: a 1940s, Art Moderne style 1-story multi-unit commercial building. Its long low form, curved corner, glass blocks, stucco cladding, and scalloped molding on the parapet exemplify the Art Moderne style. The building is an unusual example, with a series of storefronts almost indicative of much later “strip malls.” The Lazarus-Grinsell Building therefore appears to be eligible for listing in the local register under Criterion c. Research did not reveal the architect or builder of the building such that would warrant consideration of the building as work of a master under local Criterion d, and the building is not a rare example and therefore not eligible under local Criterion e. The property’s significance does not appear to rise to the level required for listing in the National Register under Criterion C or the California Register under Criterion 3.
NRHP Criterion D/CRHR Criterion 4
Archival research provided no indication that the building has the potential to yield information important to the prehistory or history of Napa, California, or the nation. Therefore, it does not appear to be eligible for listing under Criterion D/4.
The building at 1202-14 Main Street/950-80 Pearl Street retains its original use as a commercial property and therefore the building retains integrity of association. The building has never been moved and, so, retains integrity of location. When constructed, the building was located along the northeast edge of the commercial core of Napa’s downtown district. Today, this area continues to be characterized by largely commercial uses. Due to this continuation of commercial use and the existence of many historic commercial buildings in the surrounding neighborhood, the building retains integrity of setting. The building has undergone very few changes over time, limited to tenant improvements, the addition of awnings, and normal repair to the roof and other building features. The overall character, scale, massing and style of the original 20th century commercial building are evident. Therefore, the building retains integrity of design, materials and workmanship. Additionally, the building’s integrity of feeling is supported by the fact that the property is still recognizable as commercial building from the 1940s. Overall, the building possesses sufficient historic integrity to convey its significance under local register Criterion c.
The Lazarus-Grinsell Building at 1202-14 Main Street/950-80 Pearl Street appears to be eligible for listing in the local register as a Landmark Property under Napa HRI Landmark Criterion c. The building retains sufficient historic integrity to convey its significance under this criterion. The building was therefore assigned a California Historical Resource Status Code of 5S3 (appears to be individually eligible for local listing or designation through survey evaluation).
Page 4 of 4 Name or # (Assigned by recorder) 1202-14 Main St/950-80 Pearl St Recorded by Page & Turnbull, Inc. 09/15/2010 (rev. 2/22/2011) Continuation
 
    “Jos. Lazarus Buys Building for $100,000,” Napa Valley Register (11 December 1953).
Ancestry.com: Federal Census records, WWI and WWII draft cards, Public Records Indexes, etc.
 
     
    City of Napa Assessor’s Office: deed records.
City of Napa Building Division: building permits.
 
    Coodley, Lauren and Paula Amen Schmitt. Napa: The Transformation of an American Town. San Francisco, CA: Arcadia Publishing, 2007.
Kilgallin, Anthony. Napa: An Architectural Walking Tour. San Francisco, CA: Arcadia Publishing, 2001. Napa city directories.
The Napa Valley Museum and Lin Weber. Napa. San Francisco, CA: Arcadia Publishing, 2004.
Sanborn Fire Insurance maps (1886, 1891, 1901, 1910, 1924, 1949)
Weber, Lin. Old Napa Valley: The History to 1900. St. Helena, CA: Wine Ventures Publishing, 1998. Weber, Lin. Roots of the Present: Napa Valley 1900 to 1950. St. Helena, CA: Wine Ventures Publishing, 2001.
Primary façade of 1202-14 Main Street/ 950-980 Pearl Street, view north from Pearl Street. (Page & Turnbull 2010)
 Historic photograph from Main and Pearl streets, circa 1950. Note “Grinsell Building” lettering at corner. (Courtesy Kathleen Grinsell Wolf)
    Historic photograph from Main and Pearl streets, circa 1950. Note “Grinsell Building” lettering at corner. (Courtesy Kathleen Grinsell Wolf)
          Page 1 of 3
B1. Historic name: None
B2. Common name: American Legion Hall
B3. Original Use: Meeting hall
*B5. Architectural Style: Modern
*NRHP Status Code 6Z
*Resource Name or # 1240 Pearl Street APN: 003133011000
B4. Present use: Meeting hall
*B6. Construction History: (Construction date, alterations, and date of alterations)
1961: Constructed. 1961: Demolition of church previously located on the lot. 1961: Construction of new meeting hall. 1961: New plumbing. 1982: Remove two windows; lath and plaster over. 1985: Underground electrical service. 1989: Install commercial hood system. 1990: Move wall. 1995: Reroof with tar and gravel. 2010: Commercial kitchen remodel; lighting access panel, hood.
*B7. Moved? No Yes Unknown Date: Original Location:
*B8. Related Features: None
B9a. Architect: Unknown
b. Builder: Unknown
*B10. Significance: Theme Downtown civic development
 
    Period of Significance circa 1961
Area: Napa, California
Property Type Civic Applicable Criteria N/A
(Discuss importance in terms of historical or architectural context as defined by theme, period, and geographic scope. Also address integrity)
The American Legion Hall at 1240 Pearl Street was constructed in 1961 on a lot that was previously occupied by the Christian Church (no longer extant). Prior to the construction of the American Legion Hall, the 1949 Sanborn Fire Insurance map shows the two-story plus basement Christian Church located in a neighborhood of single-family dwellings.
According to deed records, the American Legion acquired the property in 1950. Building permits indicate that the church building was demolished in 1961 and replaced by the current building. The building appears to have undergone few exterior alterations. In 1982 two windows were infilled.
The American Legion was chartered and incorporated by Congress in 1919. It is the nation’s largest veterans service organization, providing mentoring, sponsorship of youth programs, and reintegration assistance for wounded veterans. The Napa chapter of the American Legion has been involved in the community since its founding. For example, during the Great Depression, the Napa chapter of the American Legion undertook a fund-raising campaign to build and raffle off houses at a time when most new construction was not economically feasible. The Ratto House at 1125 Jefferson Street (1934) is an example of a house that was built under this program.
Sketch MapCONTINUATION SHEET 2 of 3 Name # recorder) 1240 Pearl Page Turnbull, 8/30/2010
NRHP Criterion A/CRHR Criterion 1/Napa HRI Landmark Criterion a (Events, Patterns and Trends)
Constructed in 1961, the American Legion Hall at 1240 Pearl Street does not appear to be significant for association with events important to the broad patterns of history. Built in 1961, this building was constructed well after the initial development of the area and after any post-war building boom. The building is therefore not significantly associated with any major development trends. 1240 Pearl Street is associated with the Napa chapter of the American Legion; while this is a notable organization, it does not appear to have contributed significantly enough to Napa’s history to qualify this building under this criterion. Therefore, 1240 Pearl Street does not appear to be eligible under Criterion A/1/a.
NRHP Criterion B/CRHR Criterion 2/Napa HRI Landmark Criterion b (Person)
The American Legion Hall at 1240 Pearl Street does not appear to be eligible for Criterion B/2/b for association with the lives of persons significant to our past. While many war veterans and their families likely gathered at the building, nothing is known about the individual members of the American Legion responsible for the construction of this building. No one person stands out or appears to have had been sufficiently important to the history of Napa to lend significance to the building that they gathered in. Therefore, the property does not have significance under Criterion B/2/b.
NRHP Criterion C/CRHR Criterion 3/Napa HRI Landmark Criteria c,d,e (Design/Construction, Architects)
The American Legion Hall exhibits modern architectural styling, such as its slightly pitched roof, use of glass and stucco as cladding materials, and overall form. The building is generally intact and has not undergone any major alterations. Despite its good physical integrity, it is not a sufficiently remarkable example of a type, method, or style of architecture to qualify under this criterion, and better examples of modern architecture exist throughout the city. Additionally, research did not reveal the architect or builder of the building. Ultimately, it does not have the high architectural merit or association with a master architect necessary to make it significant under Criterion C/3/c, d, e.
NRHP/CRHR Criterion D/4
Archival research provided no indication that the building has the potential to yield information important to the prehistory or history of Napa, California, or the nation. Therefore, it does not appear to be eligible for listing under Criterion D/4.
The American Legion Hall at 1240 Pearl Street retains its original use as a social hall. Therefore, its integrity of association is strong. The building has never been moved and, so, has strong integrity of location. The building is located within an early residential neighborhood that was already almost fully built-out when the subject building was constructed. This residential area remains relatively intact and reinforces the property’s integrity of setting. The building has been minimally altered, therefore its integrity of design, materials and workmanship is intact. These factors contribute to integrity of feeling, which is supported by the fact that the property is still recognizable as a mid-century social hall building. Overall, the building retains historic integrity.
The American Legion Hall at 1240 Pearl Street does not appear eligible for listing in the national, state, or local registers under any criteria, and has therefore been assigned a California Historical Resource Status Code of 6Z (ineligible for National, California or local designation through survey evaluation).
Ancestry.com: Federal Census records, WWI and WWII draft cards, Public Records Indexes, etc.
City of Napa Assessor’s Office: deed records.
City of Napa Building Division: building permits.
Coodley, Lauren and Paula Amen Schmitt. Napa: The Transformation of an American Town. San Francisco, CA: Arcadia Publishing, 2007.
Kilgallin, Anthony. Napa: An Architectural Walking Tour. San Francisco, CA: Arcadia Publishing, 2001. Napa city directories.
The Napa Valley Museum and Lin Weber. Napa. San Francisco, CA: Arcadia Publishing, 2004.
Sanborn Fire Insurance maps (1886, 1891, 1901, 1910, 1924, 1949)
Weber, Lin. Old Napa Valley: The History to 1900. St. Helena, CA: Wine Ventures Publishing, 1998.
Weber, Lin. Roots of the Present: Napa Valley 1900 to 1950. St. Helena, CA: Wine Ventures Publishing, 2001.
 
    State California
Page 1 of 3
B1. Historic name: None
B2. Common name: None
B3. Original Use: Residential
*B5. Architectural Style: Vernacular
*NRHP Status Code 6Z
*Resource Name or # 630-632 Randolph Street (APN: 003271009000)
 
    B4. Present use: Residential
*B6. Construction History: (Construction date, alterations, and date of alterations) 1940: Constructed. 1975: Underground electrical service. 1989: Service change.
*B7. Moved? No Yes Unknown Date: Original Location:
*B8. Related Features: None
B9a. Architect: Unknown b. Builder: Unknown
*B10. Significance: Theme Downtown residential development Area: Napa, California Period of Significance circa 1940
Property Type Residential Applicable Criteria N/A (Discuss importance in terms of historical or architectural context as defined by theme, period, and geographic scope. Also address integrity)
The multiple-family residential building at 630-632 Randolph Street was constructed in 1940 on a lot that already occupied by several buildings. The 1949 Sanborn Fire Insurance map shows two single-family dwellings fronting Fourth Street. Each dwelling had its own adjacent garage. Situated at the rear of one of the dwellings was a two-story building that housed two flats.
According to deed records, Maude L. Gunn owned the property at the time of the building's construction. Census records show that Maude was married to George L. Gunn and they had a daughter named Grace. George worked as a salesman and later a buyer for a dry goods store. City Directories indicate that the Gunns lived in one of the flats and rented the other to a series of widowed female tenants, including Barbara Borglan in 1949, Mary Newcomb in 1959, Mary Merrill (a clerk at J.C. Penney’s) in 1967, and Mary Barbour in 1975. In 1979 Grace Gunn Binger inherited the property from her parents and rented out both flats. In 1986 Frances B. Downing and E. Romagnesi occupied the building.
(continued)
CONTINUATION SHEET 2 of 3 Name or # (Assigned by recorder) 630-632 Randolph Street Recorded Page & Turnbull, Inc. 8/30/2010
NRHP Criterion A/CRHR Criterion 1/Napa HRI Landmark Criterion a (Events, Patterns and Trends)
Constructed in 1940, the duplex at 630-632 Randolph Street does not appear to be significant for association with events important to the broad patterns of history. The building is located in a neighborhood, which was largely residential, consisting of small, working-class houses built during the early twentieth century. This multiple-family residential building was constructed well after the initial development of the area. It does not have associations with any major trends of development that occurred later and does not correspond to any major residential booms that were specific to the area. Therefore, 630-632 Randolph Street does not appear to be eligible for listing in the National, California or local registers under Criterion A/1/a.
NRHP Criterion B/CRHR Criterion 2/Napa HRI Landmark Criterion b (Person)
The residential building at 630-632 Randolph Street does not appear to be significant for association with the lives of persons significant to our past. While the building’s owners appear to have been a successful lower middle-class family, they do not appear to have had been sufficiently important to the history of Napa to lend significance to the building that they owned. Therefore, the property does not appear to be eligible for listing in the National, California or local registers under Criterion B/2/b.
NRHP Criterion C/CRHR Criterion 3/Napa HRI Landmark Criteria c,d,e (Design/Construction, Architects)
This residential building is vernacular in character with some modern style architectural detailing. It is an unremarkable example of the style, and other better examples exist throughout Napa. The building is generally intact and has not undergone any major alterations. However, despite its good physical integrity it is not a sufficiently remarkable example of a type, method, or style of architecture. Additionally, research did not reveal the architect or builder of the building. Ultimately, it does not have the high architectural merit or association with a master architect and does not appear to be eligible for listing in the National, California or local registers under Criterion C/3/c, d, e.
NRHP/CRHR Criterion D/4
Archival research provided no indication that the building has the potential to yield information important to the prehistory or history of Napa, California, or the nation. Therefore, it does not appear to be eligible for listing under Criterion D/4.
The building at 630-632 Randolph Street, retains its original use as a multiple-family residential property. Therefore, the property retains integrity of association. The building has never been moved and retains integrity of location. When constructed, the building was located within a largely residential neighborhood that was already almost fully built-out. This residential area remains and the property retains integrity of setting. The building has not been altered and retains integrity of design, materials and workmanship. These factors contribute to integrity of feeling, which is supported by the fact that the property is still recognizable as a mid-century commercial building. Overall, the building retains historic integrity.
630-632 Randolph Street does not appear eligible for listing in the national, state, or local registers under any criteria, and has therefore been assigned the California Historical Resource Status Code of 6Z, indicating that it has been found ineligible for National, California or local designation through survey evaluation.
Ancestry.com: Federal Census records, WWI and WWII draft cards, Public Records Indexes, etc.
City of Napa Assessor’s Office: deed records.
City of Napa Building Division: building permits.
Coodley, Lauren and Paula Amen Schmitt. Napa: The Transformation of an American Town. San Francisco, CA: Arcadia Publishing, 2007.
Kilgallin, Anthony. Napa: An Architectural Walking Tour. San Francisco, CA: Arcadia Publishing, 2001. Napa city directories.
The Napa Valley Museum and Lin Weber. Napa. San Francisco, CA: Arcadia Publishing, 2004.
Sanborn Fire Insurance maps (1886, 1891, 1901, 1910, 1924, 1949)
Weber, Lin. Old Napa Valley: The History to 1900. St. Helena, CA: Wine Ventures Publishing, 1998. Weber, Lin. Roots of the Present: Napa Valley 1900 to 1950. St. Helena, CA: Wine Ventures Publishing, 2001.
Primary façade of 630-632 Randolph Street, view east from Randolph Street. (Page & Turnbull 2010)
Page 1 of
B1. Historic name: None
B2. Common name: None
B3. Original Use: Residential
*B5. Architectural Style: Italianate
*NRHP Status Code 5S3
*Resource Name or # 642 Randolph Street (APN: 003271001000)
B4. Present use: Residential
*B6. Construction History: (Construction date, alterations, and date of alterations)
Circa 1880: Constructed. 1980: Reroofed. 1991: Reroofed. 1998: New garage constructed, reroofed.
*B7. Moved? No Yes Unknown Date: Original Location: *B8. Related Features: Garage at rear.
B9a. Architect: Unknown b. Builder: Unknown
*B10. Significance: Theme Downtown residential development Area: Napa, California Period of Significance ca. 1880 Property Type Residential Applicable Criteria Napa HRI Landmark Criteria a, c (Discuss importance in terms of historical or architectural context as defined by theme, period, and geographic scope. Also address integrity)
The house at 642 Randolph Street was constructed around 1880. The 1910 census provides the name of the first known owner of the property, Elisha H. Leonard, who was a gardener for Napa City parks. He lived at the house with his wife, Lilla; daughter, Violet H. VanAnder, who was a music teacher; and father, Asa Chapman.
Sometime between 1910 and 1916, the property was purchased by Edgar R. Gifford. According to city directories, Gifford was the proprietor of E.R. Gifford & Co. General Merchandise, located on First Street. It is not known whether Gifford and his family lived at the subject property, however, in 1916, Gifford sold the property to his son, Edgar Harold Gifford. A 1917 military draft card shows that Edgar Harold Gifford lived at the subject property at that time.
In 1925, Edgar Harold Gifford sold the property to his sister, Sabina Pearl Dickle. Dickle, who went by Pearl, lived at the address with her husband Arnold C. Dickle, and two sons, Gifford and Richard. In 1930, the Dickles were next door neighbors to Pearl's parents, Edgar and Mary Gifford, who lived at 608 Randolph Street. Arnold Dickle was a partner in Carbone-Dickle Co., auto garage and dealers of Studebaker cars, and later worked as a mining engineer for the Army Corp of Engineers. Pearl Dickle died in 1940 and ownership of the property subsequently transferred to her husband. The property remained in the Dickle family's ownership until at least the late 1980s. In 1982, ownership transferred to sons Gifford and Richard Dickle, but Arnold Dickle continued to reside in the house until 1993. The property is now owned by Stephanie Cole. (continued)
 
    CONTINUATION SHEET 2 of 3 Name # recorder) 642 Randolph Page Turnbull, 9/11/2010 Significance
NRHP Criterion A/CRHR Criterion 1/Napa HRI Landmark Criterion a (Events, Patterns and Trends)
Constructed circa 1880, the house at 642 Randolph Street appears to be significant for association with the early development of downtown Napa. The building is located in downtown Napa, which has always been primarily commercial in nature, although the commercial core is surrounded by residential uses. This residential building is not associated with the growth of downtown as a commercial center, but was constructed during an early phase of the area's development, which included residential properties. It is an important extant example of this early residential development and played a part in the general growth and development of the area, which makes it significant. Therefore, 642 Randolph Street appears to qualify for local listing under Napa HRI Landmark Criterion a. It does not rise to the level of significance necessary for listing in the National or California registers under Criterion A/1.
NRHP Criterion B/CRHR Criterion 2/Napa HRI Landmark Criterion b (Person)
The house at 642 Randolph Street does not appear to be associated with the lives of persons significant to our past. Throughout the building's history, it was owned by Elisha Leonard and then by various members of the Gifford/Dickle family. Elisha Leonard, Edgar R. Gifford, Edgar Harold Gifford, and Pearl and Arnold Dickle all appear to have been middle-class citizens, but there is no indication that any of these people made significant contributions to or were otherwise important to Napa's history. Based on this, the property does not appear to qualify for listing in the National or California registers or for local listing under Criterion B/2/b.
NRHP Criterion C/CRHR Criterion 3/Napa HRI Landmark Criteria c,d,e (Design/Construction, Architects)
This house exhibits Italianate architectural styling, including a paneled cornice supported by brackets, the overall form and hip roof, and is a good example of a modest cottage in this genre. It has high physical integrity and contributes to the context of nineteenth century residential architecture in Napa. There are other Italianate cottages of a similar era and style in the neighborhood and city, and 642 Randolph Street is a good example within this category. Research did not reveal the architect or builder of the house, but ultimately, it has the architectural merit necessary to qualify for local listing under Napa HRI Landmark Criterion c. The significance of the property does not appear to rise to the level of significance necessary to qualify for listing in the National or California registers under this criterion.
NRHP Criterion D/CRHR Criterion 4
Archival research provided no indication that the building has the potential to yield information important to the prehistory or history of Napa, California, or the nation. Therefore, it does not appear to be eligible for listing in the National or California registers under Criterion D/4.
The house at 642 Randolph Street retains its original use as a residence. Therefore, the property retains integrity of association. The building has never been moved and retains integrity of location. Located on the edge of the primarily commercial downtown core, the building's surroundings have likely changed over the years, but illustrate the natural growth of the city, and so the property's integrity of setting is retained. The building has not been drastically altered and related functionality of the building has been retained, so integrity of design, materials and workmanship is intact. Integrity of feeling is supported by the fact that the property is still recognizable as Victorian era residence. Overall, the property retains sufficient historic integrity to convey its significance.
642 Randolph Street appears to be individually eligible for local listing under Napa HRI Landmark Criteria a and c, and has therefore been assigned a the California Historical Resource Status Code of 5S3, indicating that it appears to be individually eligible for local listing or designation through survey evaluation.
Page 3 of 3 Name # recorder) 642 Randolph Street Recorded by Page & Turnbull, Inc. 9/11/2010
Ancestry.com: Federal Census records, WWI and WWII draft cards, Public Records Indexes, etc.
City of Napa Assessor’s Office: deed records.
City of Napa Building Division: building permits.
Coodley, Lauren and Paula Amen Schmitt. Napa: The Transformation of an American Town. San Francisco, CA: Arcadia Publishing, 2007.
Kilgallin, Anthony. Napa: An Architectural Walking Tour. San Francisco, CA: Arcadia Publishing, 2001. Napa city directories.
The Napa Valley Museum and Lin Weber. Napa. San Francisco, CA: Arcadia Publishing, 2004. Sanborn Fire Insurance maps (1886, 1891, 1901, 1910, 1924, 1949)
Weber, Lin. Old Napa Valley: The History to 1900. St. Helena, CA: Wine Ventures Publishing, 1998.
Weber, Lin. Roots of the Present: Napa Valley 1900 to 1950. St. Helena, CA: Wine Ventures Publishing, 2001.
Primary façade of 642 Randolph Street, view east from Randolph Street. (Page & Turnbull 2010)
Page 1 of 3
B1. Historic name: None
B2. Common name: None
B3. Original Use: Residential
*B5. Architectural Style: Classical Revival
*NRHP Status Code 6Z
*Resource Name or # 800-828 School Street/ 1434-1438 Third Street (APN: 003205007000)
B4. Present use: Residential/commercial
*B6. Construction History: (Construction date, alterations, and date of alterations)
Circa 1905: Constructed. Circa 1940: Commercial addition constructed. 1963: Awnings installed, reroofed. 1967: Sign installed. 1989: Reroofed. 1990: Commercial exterior remodel.
*B7. Moved? No Yes Unknown Date: Original Location:
*B8. Related Features: This parcel contains two buildings: 800 School Street/1434-1438 Third Street is a residence with a commercial ground floor, while 828 School Street is a former carriage house/garage that has been converted to commercial use.
 
    B9a. Architect: Unknown
b. Builder: Unknown
*B10. Significance: Theme Downtown residential/commercial development Area: Napa, California Period of Significance ca. 1905 Property Type Residential/commercial Applicable Criteria N/A (Discuss importance in terms of historical or architectural context as defined by theme, period, and geographic scope. Also address integrity)
The house at 800-828 School Street/1424-1438 Third Street was constructed around 1905, as was the two story garage to the rear of the house (addressed as 828 School Street). In 1905, the property was owned by Ellen Chown, who had inherited it from Mary A. Adams. Ellen Chown and her husband, James, lived in San Francisco from at least 1910 through 1920 and do not appear to have resided at the subject property. Ellen Chown was a boarding house keeper in San Francisco, hosting eighteen borders in the couple's house on Powell Street, while James Chown was a hardware merchant.
(continued)
B11. Additional Resource Attributes: (List attributes and codes) HP2. Single family residence
*B12. References:
CONTINUATION SHEET 2 Name by recorder) 800-828 School St/1434-38 Third St. 9/13/2010
In 1919, Ellen and James Chown sold the property to Ed Henry. Ed Henry does not appear to have lived at the subject property. He may have worked as a liquor dealer, although biographical information is sparse. In 1928, Ed Henry sold the property to Louis Daglia. Louis and his wife, Erminia, lived in the house (which was addressed 1334 Third Street) with their four grown children and a border. Louis Daglia was a farmer who worked his own vineyard, and Erminia owned and operated a restaurant on Main Street.
In 1934, ownership of the property transferred from Louis Daglia to Carlo Daglia, but the house stood vacant in 1935. Carlo Daglia, who may have also been called Charlie, appears to have been a government laborer in 1920. Sometime around 1940, and likely under the ownership of Carlo Daglia, the commercial space wrapping the south and west facades of the house's raised basement level were constructed (addressed 1436-1438 Third Street).
By 1942, Eugene A. and Angelina Oppliger, both Swiss immigrants, lived in the house. Eugene Oppliger was a jeweler and proprietor of E.A. Oppliger Watch Repair, located in the commercial shop.
In 1944, the property was sold to the Oppligers, who continued to reside in the house. John Kurtz, who was in the poultry business, is also listed at the address, although it is unclear whether he resided there or conducted business in the commercial space. On the 1949 Sanborn map, a restaurant is shown occupying a small shop space at 1436 Third Street, and the two-story garage at the rear of the property is labeled as an auto repair shop.
In 1951, Angelina Oppliger sold the property to Edward F. and Margaret J. Hench, about whom no biographical information was found. In 1957, the property was sold to Richard F. and Alma Kennedy. The house appears to have been subdivided into apartments, with the Henches continuing to reside at 1434 Third Street, and the Kennedys taking up residence in 1434a Third Street. The two shop spaces in the commercial addition were occupied by Thelma's Fountain, operated by Thelma Thomlinson; and Johnson's Liquors, operated by Delbert L. Johnson and Jeanne R. Wallace. The garage at the rear of the property appears to have been used by Richard Kennedy as an art goods store called Kennedy's Warehouse.
In 1962, Donna T. Gibbons purchased the property and lived in the house. Jerry's Place Restaurant, operated by Leonard and Jeraldine Purcell, was located in the shop space at 1436 Third Street, and Wright Land Exchange real estate office, operated by Ernie Wright, was located at 1438 Third Street.
In 1969, the property was sold to Irving and Beverly Mae Aboudara, who owned Continental Business Equipment, which was housed in the garage building at the rear of the property. In 1975, the house, still likely divided into two apartments, was occupied by John Quigley and Stephen Elrick, both lawyers. Vera's Realty, operated by Vera Waldepfel, was located at 1438 Third Street, while the other shop space was vacant. By the late 1980s, Continental Business Equipment remained and expanded to include Continental Cash Register and Business Computers. These businesses were joined by Panopoly Patrol Service and J.R. Greer Co. consulting. The property is currently owned by SKR Properties, LLC.
NRHP Criterion A/CRHR Criterion 1/Napa HRI Landmark Criterion a (Events, Patterns and Trends)
Constructed circa 1905, the house and garage at 800-828 School Street/1434-1438 Third Street does not appear to be significant for association with events important to the broad patterns of history. The property is located in downtown Napa, which has always been primarily commercial in nature, although the commercial core is surrounded by residential uses. Although it has a commercial addition, this residential building is not associated with the growth of downtown as a commercial center, but was constructed during an early phase of the area's development, which included residential properties. It played a part in the general growth and development of the area. However, the property does not have sufficient or specific associations with these trends to set it apart as significant. Therefore, 800-828 School Street/1434-1438 Third Street does not appear to qualify for listing in the National or California registers or for local listing under Criterion A/1/a.
NRHP Criterion B/CRHR Criterion 2/Napa HRI Landmark Criterion b (Person)
The house and garage at 800-828 School Street/1434-1438 Third Street do not appear to be significant for association with the lives of persons significant to our past. Throughout the property’s history, it was owned and occupied by people who appear to have been middle-class citizens. Many were business proprietors in downtown Napa, but there is no indication that any of these people made significant contributions to or were otherwise important to Napa's history. Based on this, the property does not appear to qualify for listing in the National or California registers or for local listing under Criterion B/2/b.
Trinomial
Page 3 of 4 Resource Name or # (Assigned by recorder) 800-828 School St/1434-38 Third St. Recorded by Page & Turnbull, Inc. *Date 9/13/2010 Continuation Update
NRHP Criterion C/CRHR Criterion 3/Napa HRI Landmark Criteria c,d,e (Design/Construction, Architects)
The house and garage at at 800-828 School Street/1434-1438 Third Street exhibit Classical Revival architectural styling and the house is a good example of a residence in this genre. However, there are other Classical Revival properties of a similar era and style in the neighborhood and city that are better examples than 800-828 School Street/1434-1438 Third Street. Additionally, research did not reveal the architect or builder of the property. For these reasons the property does not appear to qualify for listing in the National or California registers or for local listing under Criterion C/3/c,d,e.
NRHP Criterion D/CRHR Criterion 4
Archival research provided no indication that the property has the potential to yield information important to the prehistory or history of Napa, California, or the nation. Therefore, it does not appear to be eligible for listing in the National or California registers under Criterion D/4.
The house and garage at 800-828 School Street/1434-1438 Third Street retains its original use as a residential property, but has an additional commercial use that is not original. Therefore, the property does not retain integrity of association. The buildings have never been moved and retain integrity of location. Located on the edge of the primarily commercial downtown core, the property’s surroundings have likely changed over the years, but illustrate the natural growth of the city, and so the property's integrity of setting is retained. The buildings have been significantly altered, including a commercial addition to the house and therefore do not retain integrity of design. The overall form and character of the original buildings are generally intact, however, house building make it difficult to recognize it as an early twentieth century residential property, and integrity of feeling is not retained. Overall, the property does not retain historic integrity.
800-828 School Street/1434-1438 Third Street does not appear eligible for listing in the national, state, or local registers under any criteria, and has therefore been assigned the California Historical Resource Status Code of 6Z, indicating that it has been found ineligible for National, California or local designation through survey evaluation.
Ancestry.com: Federal Census records, WWI and WWII draft cards, Public Records Indexes, etc.
City of Napa Assessor’s Office: deed records.
City of Napa Building Division: building permits.
Coodley, Lauren and Paula Amen Schmitt. Napa: The Transformation of an American Town. San Francisco, CA: Arcadia Publishing, 2007.
Kilgallin, Anthony. Napa: An Architectural Walking Tour. San Francisco, CA: Arcadia Publishing, 2001. Napa city directories.
The Napa Valley Museum and Lin Weber. Napa. San Francisco, CA: Arcadia Publishing, 2004.
Sanborn Fire Insurance maps (1886, 1891, 1901, 1910, 1924, 1949)
Weber, Lin. Old Napa Valley: The History to 1900. St. Helena, CA: Wine Ventures Publishing, 1998.
Weber, Lin. Roots of the Present: Napa Valley 1900 to 1950. St. Helena, CA: Wine Ventures Publishing, 2001.
Page 1
B1. Historic name: None
B2. Common name: None
B3. Original Use: Residential
*NRHP Status Code 5S3
*Resource Name or # 832 School (APN: 0032050130000)
B4. Present use: Residential
*B5. Architectural Style: Simple bungalow with Classical Revival and Craftsman influences
*B6. Construction History: (Construction date, alterations, and date of alterations)
Circa 1905: Constructed. 1960: Remodeled. 1985: Commercial remodeling, foundation work. 1986: Commercial office building constructed behind house (addressed as 830 School Street).
*B7. Moved? No Yes Unknown Date: Original Location:
*B8. Related Features: Non-historic commercial office building at rear of lot.
 
    B9a. Architect: Unknown b. Builder: Unknown
*B10. Significance: Theme Downtown residential development Area: Napa, California
Period of Significance ca. 1905 Property Type Residential Applicable Criteria Napa HRI Landmark Criterion a, c (Discuss importance in terms of historical or architectural context as defined by theme, period, and geographic scope. Also address integrity)
The house at 832 School Street was constructed around 1905. At that time, the property appears to have been owned by Mary Jane Salsbury. No biographical information was found for Salsbury. In 1909, she sold the property to her son, Frank K. Salisbury. The 1910 census shows that Frank and his wife, Frances Louise Salsbury, lived on Franklin Street, suggesting that they rented out the subject property. The couple were in their late 50s and lived “on their own income.” In 1918, ownership of the property transferred from Frank Salsbury to his wife, and in 1924, she transferred ownership to her son, Earl W. Salsbury. Earl W. Salsbury immediately sold the property to Adolph E. and Edith E. Arnitz.
Adolph Arnitz appears to have been a book keeper and in 1920, kept books at a hardware store that was likely the Arnitz Brothers Hardware Store, owned by his family. In 1928, the Arnitzes sold the house to Adolph's brother, John J. Arnitz, and his wife, Beulah M. Arnitz. John J. and Beulah M. Arnitz are listed as residents of the property the following year and through at least 1949. John J. Arnitz worked at Arnitz Brothers Hardware and is later listed as a plumber.
John J. Arnitz died in 1949 and by 1959, the house was occupied by David L. Barry and Beulah Barry. It is assumed that Beulah Barry was John Arnitz's widow, who had remarried. The Barrys lived at 832 School Street through 1967.
Page 2 of 3 Resource Name or # (Assigned by recorder) 832 School Street Recorded by Page & Turnbull, Inc. 9/13/2010 Continuation Update
In 1975, Vohn and Marge Hutchinson lived at the address. Vohn worked at Dolle's Koffee Kup. In 1985, the property was purchased by Royce S. Wilson and Richard D. William of Rico Investments. Title to the property was shared for a time with Western Title Insurance Co. In 1986, the large, non-historic commercial building at the rear of the subject property was constructed and that year its tenants were listed as: Jo Gilbert, psychologist; Superior Secretarial Service; Marsha Z. Shenk, business consultant; Donald H. Harms, architect; and Distinctive Properties of Napa Valley, real estate. The property is now owned by Joseph L. Potter.
NRHP Criterion A/CRHR Criterion 1/Napa HRI Landmark Criterion a (Events, Patterns and Trends)
Constructed circa 1905, the house at 832 School Street appears to be significant for association with the early development of downtown Napa. The building is located in downtown Napa, which has always been primarily commercial in nature, although the commercial core is surrounded by residential uses. This residential building is not associated with the growth of downtown as a commercial center, but was constructed during an early phase of the area's development, which included residential properties. It is an important extant example of this early residential development and played a part in the general growth and development of the area, which makes it significant. The building appears to qualify for local listing under Napa HRI Landmark Criterion a. It does not rise to the level of significance necessary for listing in the National or California registers under Criterion A/1.
NRHP Criterion B/CRHR Criterion 2/Napa HRI Landmark Criterion b (Person)
The house at 832 School Street does not appear to be significant for association with the lives of persons significant to our past. Throughout the building's history, it was a single family residence owned and occupied by various working and middle class families, but there is no indication that any of their members made significant contributions or were otherwise important to Napa's history. Based on this, the property does not appear to qualify for listing in the National or California registers or for local listing under Criterion B/2/b.
NRHP Criterion C/CRHR Criterion 3/Napa HRI Landmark Criteria c,d,e (Design/Construction, Architects)
The house at 832 School Street exhibits the Simple Bungalow form with some Classical Revival and Craftsman styling, including the overall form, attic dormer, exposed rafters and from porch with Classical columns. It is a good example of a vernacular, early twentieth century cottage and has high physical integrity and contributes to the context of early twentieth century residential architecture in Napa. There are many other bungalows of a similar era and style in the neighborhood and city, and 832 School Street is a good example within the category. Research did not reveal the architect or builder of the house, but ultimately, it has the architectural merit necessary to qualify for local listing under Napa HRI Landmark Criterion c. The property does not appear to rise to the level of significance required to qualify for listing in the National or California registers under Criterion C/3.
NRHP Criterion D/CRHR Criterion 4
Archival research provided no indication that the building has the potential to yield information important to the prehistory or history of Napa, California, or the nation. Therefore, it does not appear to be eligible for listing in the National or California registers under Criterion D/4.
The house at 832 School Street retains its original use as a residence. Therefore, the property retains integrity of association. The building has never been moved and retains integrity of location. Located on the edge of the primarily commercial downtown core, the building's surroundings have generally remained the same over the years, including both commercial and residential properties in the vicinity, and so the property's integrity of setting is retained. The building has not been drastically altered and related functionality of the building is evident, so integrity of design, materials and workmanship is retained. Integrity of feeling is supported by the fact that the property is still recognizable as an early twentieth-century residence. Overall, the building retains sufficient historic integrity to convey its significance.
832 School Street appears to be individually eligible for local listing under Napa HRI Landmark Criteria a and c, and has therefore been assigned a California Historical Resource Status Code of 5S3, indicating that it appears to be individually eligible for local listing or designation through survey evaluation.
Page 3 of Name recorder) 832 School Recorded Page & Turnbull, Inc.
Ancestry.com: Federal Census records, WWI and WWII draft cards, Public Records Indexes, etc.
City of Napa Assessor’s Office: deed records.
City of Napa Building Division: building permits.
Coodley, Lauren and Paula Amen Schmitt. Napa: The Transformation of an American Town. San Francisco, CA: Arcadia Publishing, 2007.
Kilgallin, Anthony. Napa: An Architectural Walking Tour. San Francisco, CA: Arcadia Publishing, 2001. Napa city directories.
The Napa Valley Museum and Lin Weber. Napa. San Francisco, CA: Arcadia Publishing, 2004. Sanborn Fire Insurance maps (1886, 1891, 1901, 1910, 1924, 1949)
Weber, Lin. Old Napa Valley: The History to 1900. St. Helena, CA: Wine Ventures Publishing, 1998.
Weber, Lin. Roots of the Present: Napa Valley 1900 to 1950. St. Helena, CA: Wine Ventures Publishing, 2001.
Page 1 2
B1. Historic name: Napa Savings and Loan Association
B2. Common name: Wachovia Bank
*NRHP # 1310
B3. Original Use: Commercial B4. Present use: Commercial
*B5. Architectural Style: Contemporary
*B6. Construction History: (Construction date, alterations, and date of alterations)
Circa 1954: Constructed. 1970: Sign installed. 1975: New sign installed. 1982: Commercial remodel. 1992: New sign installed. 1997: ATM installed. 1998: Reroofed. 2007: New sign installed.
*B7. Moved? No Yes Unknown Date: Original Location:
*B8. Related Features: Parking lot.
B9a. Architect: Unknown b. Builder: Unknown
*B10. Significance: Theme Downtown commercial development Area: Napa, California
Period of Significance ca. 1954 Property Type Commercial Applicable Criteria Napa HRI Landmark Criterion c (Discuss importance in terms of historical or architectural context as defined by theme, period, and geographic scope. Also address integrity)
The commercial building at 1310 Second Street was constructed around 1954, likely when the property was purchased by the Napa Savings and Loan Association. It was previously owned by Henry J. and Williameena Boke, whose address was 909 Randolph Street; the alternate address of the subject property, which is situated on a corner. The 1949 Sanborn Map shows that there was a one-and-a-half story dwelling located on the property at that time, which was likely replaced by the current commercial building. From the time of the building's construction until 1970, the Napa Savings and Loan Association was located there.
In 1971, the property was purchased by the Golden West Savings and Loan Association. In 1975, according to a permit for a signage change, the business became known as World Savings, although it appears to have still been affiliated with Golden West Savings and Loan. The building is now occupied by Wachovia Bank.
 
    CONTINUATION SHEET 2 of 3 Name or # (Assigned by recorder) 1310 Second Street Recorded by Page & Turnbull, Inc. 9/14/2010 Continuation Significance
NRHP Criterion A/CRHR Criterion 1/Napa HRI Landmark Criterion a (Events, Patterns and Trends)
Constructed around 1954, the commercial building at 1310 Second Street does not appear to be significant for association with events important to the broad patterns of history. The building is located in downtown Napa, which has always been primarily commercial in nature, although the commercial core is surrounded by residential uses. This commercial building was constructed well after the initial development of the area, however, and supplanted an older house located on the property. It does not have associations with any trends of development that were specific to the area. Therefore, 1310 Second Street does not appear to qualify for listing in the National or California registers or for local listing under Criterion A/1/a.
NRHP Criterion B/CRHR Criterion 2/Napa HRI Landmark Criterion b (Person)
The commercial building at 1310 Second Street does not appear to be significant for association with the lives of persons significant to our past. Since the building's construction, it has been owned by financial institutions, with no particular representative person having strong ties with the subject property. Therefore, the property does not appear to qualify for listing in the National or California registers or for local listing under Criterion B/2/b.
NRHP Criterion C/CRHR Criterion 3/Napa HRI Landmark Criteria c,d,e (Design/Construction, Architects)
This commercial building exhibits mid-century modern architectural styling that can be classified as Contemporary. It is an excellent example of the style, including a wide overhanging flat roof, full-height windows, geometric massing, and overall form. The building is intact and has not undergone any major alterations. It can be considered a sufficiently remarkable example of a type, method, or style of architecture. Research did not reveal the architect or builder of the building, but it has the high architectural merit necessary to qualify for local listing under Napa HRI Landmark Criterion c. The property does not appear to rise to the level of significance necessary to qualify for listing in the National or California registers under this criterion.
NRHP Criterion D/CRHR Criterion 4
Archival research provided no indication that the building has the potential to yield information important to the prehistory or history of Napa, California, or the nation. Therefore, it does not appear to be eligible for listing in the National or California registers under Criterion D/4.
The building at 1310 Second Street, retains its original use as a commercial property, specifically a financial institution. Therefore, the property retains integrity of association. The building has never been moved and retains integrity of location. Located in the primarily commercial downtown core, the building's surroundings have remained the same over the years, including both commercial and residential properties in the vicinity, and therefore, the property retains integrity of setting. The building has not been drastically altered and retains integrity of design, materials and workmanship. These factors contribute to integrity of feeling, which is supported by the fact that the property is still recognizable as a modern, mid-century commercial building. Overall, the building retains sufficient historic integrity to convey its significance.
1310 Second Street appears to be individually eligible for local listing under Napa HRI Landmark Criterion c, and has therefore been assigned a the California Historical Resource Status Code of 5S3, indicating that it appears to be individually eligible for local listing or designation through survey evaluation. The significance of the property does not rise to the level necessary to be eligible for listing in the national or state registers.
Page 3 of 3 Name # recorder) 1310 Second Street Recorded Page & Turnbull, Inc. 9/14/2010
Ancestry.com: Federal Census records, WWI and WWII draft cards, Public Records Indexes, etc.
City of Napa Assessor’s Office: deed records.
 
    City of Napa Building Division: building permits.
Coodley, Lauren and Paula Amen Schmitt. Napa: The Transformation of an American Town. San Francisco, CA: Arcadia Publishing, 2007.
Kilgallin, Anthony. Napa: An Architectural Walking Tour. San Francisco, CA: Arcadia Publishing, 2001. Napa city directories.
The Napa Valley Museum and Lin Weber. Napa. San Francisco, CA: Arcadia Publishing, 2004. Sanborn Fire Insurance maps (1886, 1891, 1901, 1910, 1924, 1949)
Weber, Lin. Old Napa Valley: The History to 1900. St. Helena, CA: Wine Ventures Publishing, 1998.
Weber, Lin. Roots of the Present: Napa Valley 1900 to 1950. St. Helena, CA: Wine Ventures Publishing, 2001.
Primary
Page 1 of 2
B1. Historic name: None
B2. Common name: None
B3. Original Use: Commercial
*B5. Architectural Style: Art Moderne
*NRHP Status Code 6Z
*Resource Name or # 1400-1420 Second Street (APN: 003204006000)
 
    B4. Present use: Commercial
*B6. Construction History: (Construction date, alterations, and date of alterations)
1953: Constructed. 1972: Reroofed. 1987: Reroofed. 1991: Reroofed. 1992: Seismic retrofit, handicapped bath remodel. 1993: Converted retail store to restaurant. 2001: Tenant improvements. 2003: Replaced rooftop HVAC unit. 2008: Tenant improvements to restaurant, interior demolition.
*B7. Moved? No Yes Unknown Date: Original Location:
*B8. Related Features: None
B9a. Architect: Unknown b. Builder: Unknown
*B10. Significance: Theme Downtown commercial development Area: Napa, California
Period of Significance 1953
Property Type Commercial Applicable Criteria N/A (Discuss importance in terms of historical or architectural context as defined by theme, period, and geographic scope. Also address integrity)
The commercial building at 1400-1420 Second Street was constructed in 1953. A dwelling was located on the lot previous to the construction of the subject building. In 1953, the property was purchased from Max H. and Lillian Neil by Harry N. and Arnold A. Grossman. Grossman also owned the neighboring property, 1424-1436 Second Street, which he had purchased and built on in 1947-48. The building on that property is identical to the subject building.
The earliest known tenants of the building included Lawton and Moore Sporting Goods (1400 Second Street), A.H. Smith insurance company (1408 Second Street), Corlett, Stroud and Erwin accountants (1412 Second Street), Equitable Life Insurance Co. and Peter Palzis real estate (1420 Second Street). By 1967, Napa Valley Properties real estate office and First California Co. insurance agency had joined the accounting firm and Palzi's real estate office in the building. In 1975, tenants consisted of the Chestnut Agency, Pelican Lounge Tavern, Erwin Harold accounting, and Jacob Leslie accounting. By 1986, only Erwin and Mendenhall Accountancy Corp. and Mimi's European Delicatessen were listed at the address.
(continued)
CONTINUATION SHEET 2 of 3 Name # (Assigned by recorder) 1400-1420 Second Street Turnbull, 8/30/2010 Significance
NRHP Criterion A/CRHR Criterion 1/Napa HRI Landmark Criterion a (Events, Patterns and Trends)
Constructed in 1953, the commercial building at 1400-1420 Second Street does not appear to be significant for association with events or trends important to the broad patterns of history of Napa. The building is located in the downtown core, which has always been primarily commercial in nature. This commercial building was constructed well after the initial development of the area, however, and supplanted an older house located on the property. It is loosely associated with the post-World War II building boom, but is one of many buildings in the area with this association. Therefore, 1400-1420 Second Street does not appear to qualify for listing in the National or California registers or for local listing under Criterion A/1/a.
NRHP Criterion B/CRHR Criterion 2/Napa HRI Landmark Criterion b (Person)
The commercial building at 1400-1420 Second Street does not appear to be eligible for association with the lives of persons significant to the history of Napa. Throughout the building's history, it was owned by the Grossmans, who do not appear to have operated a business at the property. None of the businesses that were located in the building appear to have been run by significant people. While these people were likely successful merchants, they do not appear to have had been sufficiently important to the history of Napa to lend significance to the building that they owned or operated a business in. Therefore, the property does not appear to qualify for listing in the National or California registers or for local listing under Criterion B/2/b.
NRHP Criterion C/CRHR Criterion 3/Napa HRI Landmark Criteria c,d,e (Design/Construction, Architects)
This commercial building exhibits mid-century architectural styling that can be classified as Art Moderne. It is not a prime example of the style, however, and other better examples exist throughout Napa. The building is generally intact and has not undergone any drastic alterations. However, despite its good physical integrity it is not a sufficiently remarkable example of a type, method, or style of architecture. Additionally, research did not reveal the architect or builder of the building. Ultimately, it does not have the high architectural merit or association with a master architect necessary to qualify for listing in the National or California registers or for local listing under Criterion C/3/c,d,e.
NRHP Criterion D/CRHR Criterion 4
Archival research provided no indication that the building has the potential to yield information important to the prehistory or history of Napa, California, or the nation. Therefore, it does not appear to be eligible for listing under Criterion D/4.
The building at 1400-1420 Second Street, retains its original use as a commercial property housing multiple retail shops. Therefore, the property retains integrity of association. The building has never been moved and retains integrity of location. Located in the primarily commercial downtown core, the building's surroundings have generally remained the same over the years and the property retains integrity of setting. The building has not been drastically altered, therefore integrity of design, materials and workmanship is retained. These factors contribute to integrity of feeling, which is supported by the fact that the property is still recognizable as a mid-century commercial building. Overall, the building retains historic integrity.
1400-1420 Second Street does not appear eligible for listing in the national, state, or local registers under any criteria, and has therefore been assigned the California Historical Resource Status Code of 6Z, indicating that it has been found ineligible for National, California or local designation through survey evaluation.
Page 3 of 3 Name # (Assigned by recorder) 1400-1420 Second Street Recorded by Page & Turnbull, Inc. 8/30/2010
Ancestry.com: Federal Census records, WWI and WWII draft cards, Public Records Indexes, etc.
City of Napa Assessor’s Office: deed records.
City of Napa Building Division: building permits.
Coodley, Lauren and Paula Amen Schmitt. Napa: The Transformation of an American Town. San Francisco, CA: Arcadia Publishing, 2007.
Kilgallin, Anthony. Napa: An Architectural Walking Tour. San Francisco, CA: Arcadia Publishing, 2001. Napa city directories.
The Napa Valley Museum and Lin Weber. Napa. San Francisco, CA: Arcadia Publishing, 2004. Sanborn Fire Insurance maps (1886, 1891, 1901, 1910, 1924, 1949)
Weber, Lin. Old Napa Valley: The History to 1900. St. Helena, CA: Wine Ventures Publishing, 1998.
Weber, Lin. Roots of the Present: Napa Valley 1900 to 1950. St. Helena, CA: Wine Ventures Publishing, 2001.
Primary façade of 1400-1420 Second Street, view north from Second Street. (Page & Turnbull 2010)
 
    Page 1 of 2
B1. Historic name: None B2. Common name: None
B3. Original Use: Commercial
*B5. Architectural Style: Modern
*NRHP Status Code 6Z
*Resource Name or # 1407-1417 Second Street (APN: 003205011000)
B4. Present use: Commercial
*B6. Construction History: (Construction date, alterations, and date of alterations)
1953: Constructed. 1972: Unspecified alterations. 1973: New sign installed. 1985: Roof-mounted HVAC installed. 1989: Furnace and air conditioning replaced. 1995: Storefront remodeled at 1417 Second Street. 2000: Roof-mounted HVAC replaced.
*B7. Moved? No Yes Unknown Date: Original Location:
*B8. Related Features: None
B9a. Architect: Unknown b. Builder: Unknown
*B10. Significance: Theme Downtown commercial development
 
    Area: Napa, California
Property Type Commercial Applicable Criteria N/A (Discuss importance in terms of historical or architectural context as defined by theme, period, and geographic scope. Also address integrity)
Period of Significance 1953
The commercial building at 1407-1417 Second Street was constructed in 1953. That year the property was purchased by Clifford and Louetta F. Hartle, and John C. and Lillian Brandlin. Prior to the construction of the subject building, the lot was occupied by a one-story dwelling addressed 843 Franklin Street. Clifford Hartle was employed as a partsman for Berglund Tractor & Equipment, and his wife Louetta Hartle was a telephone operator. Lillian Brandlin was a book keeper, and her brother John Brandlin was a liveryman.
Initially, the building was occupied by the Credit Bureau of Napa County (1407 Second St.), Napa Steam Baths (1409 second St.), Napa Chiropractic Center (1411 Second St.), Gambill's Barber Shop (1415 Second St.), and Shelton Cleaners (1417 Second St.). Tenancy remained steady through the late 1960s, with only the Napa Steam Baths vacating the premises. By 1975, the building was occupied by Neff's Stationary (1407), Village Realty (1409), Tip Top Shoe Repair (1411), Gambill's Barber Shop (1415), and Shelton Cleaners (1417).
In 1984, the Brandlins relinquished their share in the property and ownership transferred entirely to the Hartles. Around that time, the businesses in the building included Neff's Classic Office Supply (1407), AAA Business Machines (1409), Tip Top Shoe Repair (1411), Gambill's Barber Shop (1415), and Shelton Cleaners (1415). Today, Neff's Classic Office Supply, Tip Top Shoe Repair and Shelton Cleaners still remain in business at the property, accompanied by a framing shop and a nail salon. (continued)
CONTINUATION SHEET 2 of 3 Name or # (Assigned by recorder) 1407-1417 Second Street Recorded by Page & Turnbull, Inc. 9/15/2010 Continuation Significance
NRHP Criterion A/CRHR Criterion 1/Napa HRI Landmark Criterion a (Events, Patterns and Trends)
Constructed in 1953, the commercial building at 1407-1417 Second Street does not appear to be significant for association with events important to the broad patterns of history. The building is located in downtown Napa, which has always been primarily commercial in nature, although the commercial core is surrounded by residential uses. This commercial building was constructed well after the initial development of the area, however, and supplanted an older house located on the property. It does not have associations with any trends of development that were specific to the area. Therefore, the building does not appear to qualify for listing in the National or California registers or for local listing under Criterion A/1/a.
NRHP Criterion B/CRHR Criterion 2/Napa HRI Landmark Criterion b (Person)
The commercial building at 1407-1417 Second Street does not appear to be significant for association with the lives of persons significant to our past. For most of the building's history, it has been owned by the Hartles, with an initial partnership with the Brandlins. All of these people appear to have been working or middle-class citizens and do not appear to have made any major contributions to the community or the history of Napa. Therefore, the property does not appear to qualify for listing in the National or California registers or for local listing under Criterion B/2/b.
NRHP Criterion C/CRHR Criterion 3/Napa HRI Landmark Criteria c,d,e (Design/Construction, Architects)
This commercial building exhibits mid-century architectural styling that can generally be classified as Modern. It is a generic and unremarkable example of the style, however. Other better examples of the era and architectural genre exist in Napa. The building is intact and has not undergone any major alterations. However, despite its good physical integrity it is not a sufficiently noteworthy example of a type, method, or style of architecture. Additionally, research did not reveal the architect or builder of the building. Ultimately, it does not appear to qualify for listing in the National or California registers or for local listing under Criterion C/3/c,d,e.
NRHP Criterion D/CRHR Criterion 4
Archival research provided no indication that the building has the potential to yield information important to the prehistory or history of Napa, California, or the nation. Therefore, it does not appear to be eligible for listing in the National or California registers under Criterion D/4.
The building at 1407-1417 Second Street, retains its original use as a commercial property housing multiple retail shops. Therefore, the property retains integrity of association. The building has never been moved and retains integrity of location. When constructed, the building was located within a mixed-use neighborhood of residential and commercial properties, which has not changed drastically in the 57 years since the building was constructed. Therefore, the property retains integrity of setting. The building has not been drastically altered, but for the remodeling of one storefront, therefore retains integrity of design, materials and workmanship. These factors contribute to integrity of feeling, which is supported by the fact that the property is still recognizable as a mid-century commercial building. Overall, the building retains historic integrity.
1407-1417 Second Street does not appear eligible for listing in the national, state, or local registers under any criteria, and has therefore been assigned the California Historical Resource Status Code of 6Z, indicating that it has been found ineligible for National, California or local designation through survey evaluation.
CONTINUATION SHEET 1407-1417 Recorded Turnbull, Inc.
Ancestry.com: Federal Census records, WWI and WWII draft cards, Public Records Indexes, etc.
City of Napa Assessor’s Office: deed records.
City of Napa Building Division: building permits.
Coodley, Lauren and Paula Amen Schmitt. Napa: The Transformation of an American Town. San Francisco, CA: Arcadia Publishing, 2007.
Kilgallin, Anthony. Napa: An Architectural Walking Tour. San Francisco, CA: Arcadia Publishing, 2001. Napa city directories.
The Napa Valley Museum and Lin Weber. Napa. San Francisco, CA: Arcadia Publishing, 2004. Sanborn Fire Insurance maps (1886, 1891, 1901, 1910, 1924, 1949)
Weber, Lin. Old Napa Valley: The History to 1900. St. Helena, CA: Wine Ventures Publishing, 1998.
Weber, Lin. Roots of the Present: Napa Valley 1900 to 1950. St. Helena, CA: Wine Ventures Publishing, 2001.
Page 1 of 2
B1. Historic name: None
B2. Common name: None
B3. Original Use: Commercial
*B5. Architectural Style: Art Moderne
*NRHP Status Code 6Z
*Resource Name or # 1424-1436 Second Street (APN: 003204007000)
 
    B4. Present use: Commercial
*B6. Construction History: (Construction date, alterations, and date of alterations)
1948: Constructed. 1958: Alterations and additions. 1965: New sign installed. 1966: Sign installed. 1973: Unspecified alterations. 1976: Minor remodeling. 1979: Reroofed. 1980: Electric sign installed. 1987: Interior remodel, reroofed, sign installed. 1998: Wall repaired. 2002: Damaged post repaired. 2003: Door and 2 windows added, 2 interior walls demolished, retail tenant improvements. 2006: Reroofed.
*B7. Moved? No Yes Unknown Date: Original Location:
*B8. Related Features: None
B9a. Architect: Unknown
b. Builder: Unknown
*B10. Significance: Theme Downtown commercial development Area: Napa, California
Period of Significance 1948 Property Type Commercial Applicable Criteria N/A (Discuss importance in terms of historical or architectural context as defined by theme, period, and geographic scope. Also address integrity)
The commercial building at 1424-1436 Second Street was constructed in 1948. A dwelling was located on the lot previous to the construction of the subject building. In December of 1947, the property was purchased from Lillian H. Gibbs by Harry N. and Bertha A. Grossman, who appear to be responsible for the construction of 1424-1436 Second Street. Grossman also owned the neighboring property, 1400-1420 Second Street, which he had purchased and built on in 1953. The building on that property is identical to the subject building.
One of the building's earliest known tenants was Preston Mus. Co., located at 1424 Second Street. In the early 1960s, that tenant was replaced by Dahken of Napa Giftware, which was accompanied by Public Finance Corp. at 1428 Second Street, and Mister Charles Salon and Beauty Shop at 1432 Second Street. Both the gift shop and beauty shop remained in the mid-1970s. The building was entirely vacant in 1986.
*B14.
Page 2 of 3 Name or # (Assigned by recorder) 1424-1436 Second Street Recorded by Page & Turnbull, Inc. 8/30/2010 Continuation
NRHP Criterion A/CRHR Criterion 1/Napa HRI Landmark Criterion a (Events, Patterns and Trends)
Constructed in 1948, the commercial building at 1424-1436 Second Street does not appear to be significant for association with events or trends important to the broad patterns of history of Napa. The building is located in the downtown core, which has always been primarily commercial in nature. This commercial building was constructed well after the initial development of the area, however, and supplanted older houses located on the property. It is loosely associated with the post-World War II building boom, but is one of many buildings in the area with this association. Therefore, 1424-1436 Second Street does not appear to qualify for listing in the National or California registers or for local listing under Criterion A/1/a.
NRHP Criterion B/CRHR Criterion 2/Napa HRI Landmark Criterion b (Person)
The commercial building at 1424-1436 Second Street does not appear to be eligible for association with the lives of persons significant to the history of Napa. Throughout the building's history, it was owned by the Grossmans, who do not appear to have operated a business at the property. None of the businesses that were located in the building appear to have been run by significant people. While these people were likely successful merchants, they do not appear to have had been sufficiently important to the history of Napa to lend significance to the building that they owned or operated a business in. Therefore, the property does not appear to qualify for listing in the National or California registers or for local listing under Criterion B/2/b.
NRHP Criterion C/CRHR Criterion 3/Napa HRI Landmark Criteria c,d,e (Design/Construction, Architects)
This commercial building exhibits mid-century architectural styling that can be classified as Art Moderne. It is not a prime example of the style, however, and other better examples exist throughout Napa. The building is generally intact and has not undergone any drastic alterations. However, despite its good physical integrity it is not a sufficiently remarkable example of a type, method, or style of architecture. Additionally, research did not reveal the architect or builder of the building. Ultimately, it does not have the high architectural merit or association with a master architect necessary to qualify for listing in the National or California registers or for local listing under Criterion C/3/c,d,e.
NRHP Criterion D/CRHR Criterion 4
Archival research provided no indication that the building has the potential to yield information important to the prehistory or history of Napa, California, or the nation. Therefore, it does not appear to be eligible for listing under Criterion D/4.
The building at 1424-1436 Second Street, retains its original use as a commercial property housing multiple retail shops. Therefore, the property retains integrity of association. The building has never been moved and retains integrity of location. Located in the primarily commercial downtown core, the building's surroundings have generally remained the same over the years and the property retains integrity of setting. The building has not been drastically altered and retains integrity of design, materials and workmanship. These factors contribute to integrity of feeling, which is supported by the fact that the property is still recognizable as a mid-century commercial building. Overall, the property retains historic integrity.
1424-1436 Second Street does not appear eligible for listing in the national, state, or local registers under any criteria, and has therefore been assigned the California Historical Resource Status Code of 6Z, indicating that it has been found ineligible for National, California or local designation through survey evaluation.
Page 3 of 3 Name # (Assigned by recorder) 1424-1436 Second Street Recorded by Page & Turnbull, Inc. 8/30/2010
Ancestry.com: Federal Census records, WWI and WWII draft cards, Public Records Indexes, etc.
City of Napa Assessor’s Office: deed records.
City of Napa Building Division: building permits.
Coodley, Lauren and Paula Amen Schmitt. Napa: The Transformation of an American Town. San Francisco, CA: Arcadia Publishing, 2007.
Kilgallin, Anthony. Napa: An Architectural Walking Tour. San Francisco, CA: Arcadia Publishing, 2001. Napa city directories.
The Napa Valley Museum and Lin Weber. Napa. San Francisco, CA: Arcadia Publishing, 2004. Sanborn Fire Insurance maps (1886, 1891, 1901, 1910, 1924, 1949)
Weber, Lin. Old Napa Valley: The History to 1900. St. Helena, CA: Wine Ventures Publishing, 1998.
Weber, Lin. Roots of the Present: Napa Valley 1900 to 1950. St. Helena, CA: Wine Ventures Publishing, 2001.
Primary façade of 1424-1436 Second Street, view north from Second Street. (Page & Turnbull 2010)
 
    Page 1 of 2
B1. Historic name: None
B2. Common name: Jack R. Patterson House
B3. Original Use: Residential
*B5. Architectural Style: Craftsman
*NRHP Status Code 5S3
*Resource Name or # 1763 Second Street (APN: 003251005000)
 
    B4. Present use: Commercial
*B6. Construction History: (Construction date, alterations, and date of alterations)
Circa 1905: Constructed. 2000: Wood shingle siding replaced in kind. Unknown: Front porch enclosed with door and window.
*B7. Moved? No Yes Unknown Date: Original Location:
*B8. Related Features: Parking lot at rear.
B9a. Architect: Unknown b. Builder: Unknown
*B10. Significance: Theme Downtown residential development Area: Napa, California Period of Significance ca. 1905 Property Type Residential Applicable Criteria Napa HRI Landmark Criterion a, c (Discuss importance in terms of historical or architectural context as defined by theme, period, and geographic scope. Also address integrity)
The house at 1763 Second Street was constructed around 1905. That year, the property was purchased from John Simmons by Mrs. Clara E. Gans. Clara and Bertram J. Gans lived in the house. Bertram was the superintendent of the Cameron Shirt Factory and, later, the Secretary/Treasurer of the Cameron & Co. He is known to have been instrumental in the affiliation of the shirt factory with the Shirtmakers Union. By 1959, Clara Gans was a widow, but continued to live in the house at 1763 Second Street. As early as 1973, the Ganses daughter, Elizabeth, and her husband Albert Bergstrom lived at the subject property and in 1977, they became the owners.
In 1979, the property was sold to Jack R. and K. Joy Patterson. Jack Patterson was an accountant and the house is currently referred to as the Jack R. Patterson house by a plaque above the front door. Building permits indicate that the Pattersons lived at 1763 Second Street as late as 1992. At some point, likely after that date, the house was converted to commercial use. Today it is owned by James R. and Carol I. Finch and occupied by Awaken Chinese Massage, Michael Loose, MD; Joe Hall, CPA; and Redwood Caregiver Resources Center.
CONTINUATION SHEET 2 Name recorder) 1763 Second Turnbull, 9/14/2010
NRHP Criterion A/CRHR Criterion 1/Napa HRI Landmark Criterion a (Events, Patterns and Trends)
Constructed circa 1905, the house at 1763 Second Street appears to be significant for association with the early development of downtown Napa. The building is located in downtown Napa, which has always been primarily commercial in nature, although the commercial core is surrounded by residential uses. This residential building is not associated with the growth of downtown as a commercial center, but was constructed during an early phase of the area's development, which included residential properties. It is an important extant example of this early residential development and played a part in the general growth and development of the area, which makes it significant. Therefore, 1763 Second Street appears to qualify for local listing under Napa HRI Landmark Criterion a. It does not rise to the level of significance necessary for listing in the National or California registers under Criterion A/1.
NRHP Criterion B/CRHR Criterion 2/Napa HRI Landmark Criterion b (Person)
The house at 1763 Second Street does not appear to be significant for association with the lives of persons significant to our past. For most of the house's history, it was owned and occupied by Bertram and Clara Gans, and later by their daughter and her husband. The Ganses appear to have been middle-class citizens, and Bertram was a prominent member of the staff at the Cameron Shirt Factory, but there is no indication that any of these people, nor any later owners or occupants, made significant contributions or were otherwise important to Napa's history. Based on this, the property does not appear to qualify for listing in the National or California registers or for local listing under Criterion B/2/b.
NRHP Criterion C/CRHR Criterion 3/Napa HRI Landmark Criteria c,d,e (Design/Construction, Architects)
This house exhibits Craftsman architectural styling applied to a bungalow form, including wood shingle cladding, overall form, bracketed cornice, angled bay windows, and exposed rafters. It is a good example of a middle-class cottage in this genre. There are many other comparable houses exist in the neighborhood and throughout Napa, and the house is a good example of the style. The building has high physical integrity and contributes to the context of early twentieth century residential architecture in Napa. Research did not reveal the architect or builder of the house, but ultimately, it has the architectural merit necessary to qualify for local listing under Napa HRI Landmark Criterion c. The property does not appear to qualify for listing in the National or California registers under this criterion.
NRHP Criterion D/CRHR Criterion 4
Archival research provided no indication that the building has the potential to yield information important to the prehistory or history of Napa, California, or the nation. Therefore, it does not appear to be eligible for listing in the National or California registers under Criterion D/4.
The house at 1763 Second Street is now used as commercial offices and no longer retains its original use as a residence. However, the property is still understood as a residential building and therefore retains integrity of association. The building has never been moved and retains integrity of location. Located on the edge of the primarily commercial downtown core, the building's surroundings have likely changed over the years, but illustrate the natural growth of the city, and so the property retains integrity of setting. The building has not been drastically altered and related functionality of the building remains, therefore, the property retains integrity of design, materials and workmanship. Integrity of feeling is supported by the fact that the property is still recognizable as an early twentieth century residence, despite its current commercial use. Overall, the property retains sufficient historic integrity to convey its significance.
1763 Second Street appears to be individually eligible for local listing under Napa HRI Landmark Criteria a and c, and has therefore been assigned a the California Historical Resource Status Code of 5S3, indicating that it appears to be individually eligible for local listing or designation through survey evaluation.
Page 3 of Name recorder) 1763 Second Street Recorded Page & Turnbull, Inc. 9/14/2010
Ancestry.com: Federal Census records, WWI and WWII draft cards, Public Records Indexes, etc.
City of Napa Assessor’s Office: deed records.
 
    City of Napa Building Division: building permits.
Coodley, Lauren and Paula Amen Schmitt. Napa: The Transformation of an American Town. San Francisco, CA: Arcadia Publishing, 2007.
Kilgallin, Anthony. Napa: An Architectural Walking Tour. San Francisco, CA: Arcadia Publishing, 2001. Napa city directories.
The Napa Valley Museum and Lin Weber. Napa. San Francisco, CA: Arcadia Publishing, 2004. Sanborn Fire Insurance maps (1886, 1891, 1901, 1910, 1924, 1949)
Weber, Lin. Old Napa Valley: The History to 1900. St. Helena, CA: Wine Ventures Publishing, 1998.
Weber, Lin. Roots of the Present: Napa Valley 1900 to 1950. St. Helena, CA: Wine Ventures Publishing, 2001.
Page 1
B1. Historic name: None
B2. Common name: None
B3. Original Use: Residential
*B5. Architectural Style: Classical Revival
*NRHP Status Code 5S3
*Resource Name or # 1776 Second Street (APN: 003194005000)
 
    B4. Present use: Commercial
*B6. Construction History: (Construction date, alterations, and date of alterations)
Circa 1900: Constructed. 1960: Covered patio constructed. 1961: Garage demolished. 1981: Reroofed. 1990: Termite repair, conversion to office space. 1998: Porch repaired, reroofed. 2004: Existing deck replaced. 2005: Foundation repaired, tenant improvements to stairways, ADA bathroom. Unknown: Windows replaced with vinyl windows.
*B7.Moved? No Yes Unknown Date: Original Location:
*B8. Related Features: Parking lot at rear.
B9a. Architect: Unknown
b. Builder: Howard E. Roper (unconfirmed)
*B10. Significance: Theme Downtown residential development Area: Napa, California
Period of Significance ca. 1900 Property Type Residential Applicable Criteria Napa HRI Landmark Criterion a, c (Discuss importance in terms of historical or architectural context as defined by theme, period, and geographic scope. Also address integrity)
The house at 1776 Second Street was constructed around 1900. That year the property was purchased from Howard E. Roper by Lillie E. Johnston. Roper lived with his parents at a different property on Second Street and was the head carpenter for the Napa State Hospital. It is possible that he is responsible for the speculative construction of the subject house.
Lillie E. Johnston was married to John Johnston, who was employed as a physician's secretary at the Napa State Hospital in 1900 That year, the Johnstons lived on Seminary Street. They do not appear to have resided at the subject property. In 1905, they sold the property to George E. and Clara E. Gordon. In 1910, the Gordons lived at the subject property with their son. George E. Gordon was a fruit farmer.
In 1918, the Gordons sold the house to Charles L. Carbone, Sr. In 1920, Carbone, his wife, Hazel, and their son, Charles Jr. lived at the subject property. Carbone worked as a mechanic at a garage at that time. By the late 1920s, he became a soft drink merchant. In 1935, he is listed as a wine merchant and was affiliated with John Carbone, who was also wine and liquor merchant. The two owned The Gem, a bar on Pearl Street. In 1945, ownership of the subject property was inherited by Charles L. Carbone, Jr. He and his wife, Alice, lived in the house through at least 1986. Charles Carbone, Jr. was a salesman at Yates & Cochrane Sporting Goods. Later, in the mid-1970s, he opened his own shop, called Carbone Trophy & Sporting Goods. (continued)
Trinomial
Page 2 of 3 Resource Name or # (Assigned by recorder) 1776 Second Street Recorded by Page & Turnbull, Inc. 9/14/2010 (rev. 2/22/2011) Continuation Update
Since the Carbone's ownership, the house has been converted to commercial use. The property is currently owned by 1776 Second Street LLC.
NRHP Criterion A/CRHR Criterion 1/Napa HRI Landmark Criterion a (Events, Patterns and Trends)
Constructed circa 1900, the house at 1776 Second Street appears to be significant for association with the early development of downtown Napa. The building is located in downtown Napa, which has always been primarily commercial in nature, although the commercial core is surrounded by residential uses. This residential building is not associated with the growth of downtown as a commercial center, but was constructed during an early phase of the area's development, which included residential properties. It is an important extant example of this early residential development and played a part in the general growth and development of the area, which makes it significant. Therefore, 1776 Second Street appears to qualify for local listing under Napa HRI Landmark Criterion a. It does not rise to the level of significance necessary to qualify for listing in the National or California registers under Criterion A/1.
NRHP Criterion B/CRHR Criterion 2/Napa HRI Landmark Criterion b (Person)
The house at 1776 Second Street does not appear to be significant for association with the lives of persons significant to our past. For most of the house's history, it was owned and occupied by the Johnston, Gordon, and Carbone families. Members of all three families appear to have been middle-class citizens and successful business people, but there is no indication that any of them made significant contributions or were otherwise important to Napa's history. Based on this, the property does not appear to qualify for listing in the National or California registers or for local listing under Criterion B/2/b.
NRHP Criterion C/CRHR Criterion 3/Napa HRI Landmark Criteria c,d,e (Design/Construction, Architects)
This house exhibits turn-of-the-century Classical Revival architectural styling, including a prominent porch with arches openings, overall form, hipped roof, and Classical detailing including turned balustrades, window surrounds and columns. It is a good example of a middle-class dwelling in this genre. Many other comparable houses exist in the neighborhood and throughout Napa, and the house is an excellent example of the style. The building has high physical integrity and contributes to the context of early twentieth century residential architecture in Napa. Research did not reveal the architect. The builder may have been the original owner, Howard Roper, however this is unconfirmed and Roper does not appear to qualify as a master builder. However, the house has the architectural merit necessary to qualify for local listing under Napa HRI Landmark Criterion c. The property does not appear to qualify for listing in the National or California registers under this criterion.
NRHP Criterion D/CRHR Criterion 4
Archival research provided no indication that the building has the potential to yield information important to the prehistory or history of Napa, California, or the nation. Therefore, it does not appear to be eligible for listing in the National or California registers under Criterion D/4.
The house at 1776 Second Street continues its original use as a residence and retains integrity of association. The building has never been moved and retains integrity of location. Located on the edge of the primarily commercial downtown core, the building's surroundings have likely changed over the years, but illustrate the natural growth of the city, and the property retains integrity of setting. The building has not been drastically altered and related functionality of the building is evident, therefore, the property retains integrity of design, materials and workmanship. Integrity of feeling is supported by the fact that the property is still recognizable as an early twentieth century residence, despite its current commercial use. Overall, the building retains sufficient historic integrity to convey its significance.
1776 Second Street appears to be individually eligible for local listing under Napa HRI Landmark Criteria a and c, and has therefore been assigned the California Historical Resource Status Code of 5S3, indicating that it appears to be individually eligible for local listing or designation through survey evaluation.
Page 3 of 3 Resource Name or # (Assigned by recorder) 1776 Second Street Recorded by Page & Turnbull, Inc. 9/14/2010 (rev. 2/22/2011) Continuation
Ancestry.com: Federal Census records, WWI and WWII draft cards, Public Records Indexes, etc.
City of Napa Assessor’s Office: deed records.
City of Napa Building Division: building permits.
 
    Coodley, Lauren and Paula Amen Schmitt. Napa: The Transformation of an American Town. San Francisco, CA: Arcadia Publishing, 2007.
Kilgallin, Anthony. Napa: An Architectural Walking Tour. San Francisco, CA: Arcadia Publishing, 2001. Napa city directories.
The Napa Valley Museum and Lin Weber. Napa. San Francisco, CA: Arcadia Publishing, 2004. Sanborn Fire Insurance maps (1886, 1891, 1901, 1910, 1924, 1949)
Weber, Lin. Old Napa Valley: The History to 1900. St. Helena, CA: Wine Ventures Publishing, 1998.
Weber, Lin. Roots of the Present: Napa Valley 1900 to 1950. St. Helena, CA: Wine Ventures Publishing, 2001.
Primary façade of 1776 Second Street, view north from Second Street. (Page & Turnbull 2010)
Page 1
B1. Historic name: None
B2. Common name: None
B3. Original Use: Residential
 
    *NRHP Status Code 5S3
*Resource Name or # 1778 Second (APN: 00319300400)
B4. Present use: Commercial
*B5. Architectural Style: Simple Bungalow with Classical Revival influences
*B6. Construction History: (Construction date, alterations, and date of alterations)
Circa 1902: Constructed. 1974: Stairs repaired. 1980: Awnings installed. 2005: Reroofed. 2007: Foundation removed, new foundation installed (likely raised ½ story at this time). 2008: Windows and siding replaced, interior demolition, new signage installed. 2009: Tenant improvements on first floor.
*B7. Moved? No Yes Unknown Date: Original Location:
*B8. Related Features: Parking lot at rear.
B9a. Architect: Unknown b. Unknown
*B10. Significance: Theme Downtown residential development Area: Napa, California
Period of Significance ca. 1902 Property Type Residential Applicable Criteria Napa HRI Landmark Criteria a, c (Discuss importance in terms of historical or architectural context as defined by theme, period, and geographic scope. Also address integrity)
The house at 1778 Second Street was constructed around 1902. That year, the property was purchased by Samuel E. McNeill and the house was likely constructed. Samuel McNeill lived on his own income and resided at the property with his wife, two sons (one a laborer, one a postal clerk), and elderly mother.
In 1919, McNeill sold the property to John D. Cochrane. The 1920 census shows that Cochrane was a Scottish immigrant and worked as a retail merchant in a grocery store. He lived at the subject property with his wife, Helen, and daughter, Jean. In 1928, the property was purchased by Arthur M. and Margaret A. Emerick, although city directories still list the Cochranes as residents in 1929. That year, John Cochrane was the secretary and manager of People's Finance and Thrift.
Arthur and Margaret Emerick likely moved into the house shortly after this time and are listed at the address in the 1930 census, along with their two children and two boarders. Arthur Emerick was employed as a county mosquito abatement officer. By 1959, Margaret Emerick was a widow, but continued to live in the house for a time and owned it until 1968.
Trinomial
Page 3 of 3 Resource Name or # (Assigned by recorder) 1778 Second Street
*Recorded by Page & Turnbull, Inc.
*Date 9/14/2010 (rev. 2/2/2011)  Continuation  Update
By 1967, B.L. and Margaret J. Murray lived at the address. B.L Murray was a worker at the C&H S the property was sold to Mildred A. Dutro and, in 1973, the property was purchased by Joe Dan an Victorian House restaurant was located in the h and Patricia Hughes. In 1980, the property was p The property is currently owned by Richard T. an on
ugar refinery. The following year, d Britta Ponder. In 1975, the ouse. The restaurant was run by Nicholas and Rose Marie Moorhead and Carroll urchased by Jacques Mokrani, and 1986 housed La Boucane French Restaurant. d Nancy A. Zaslove and is occupied by Golden State Lumber, Inc.
NRHP Criterion A/CRHR Criterion 1/Napa HRI Landmark Criterion a (Events, Patterns and Trends) with the early development of s always been primarily commercial in nature, although the ilding is not associated with the growth of downtown as a ded residential properties. It development of Landmark s not rise to the level of significance necessary for listing in the National or California registers under Criterion A/1.
Constructed circa 1905, the house at 1778 Second Street appears to be significant for association downtown Napa. The building is located in downtown Napa, which ha commercial core is surrounded by residential uses. This residential bu commercial center, but was constructed during an early phase of the area's development, which inclu is an important extant example of this early residential development and played a part in the general growth and the area, which makes it significant. Therefore, 1766 Second Street appears to qualify for local listing under Napa HRI Criterion a. It doe
ion B/CRHR Criterion 2/Napa HRI Landmark Criterion b (Person)
The house at 1778 Second Street does not appear to be significant for association with the lives of persons significant to our past. Throughout the house's history it was owned and/or occupied by the McNiell, Cochrane, Emerick, and Murray families. Members of these families appear to have been working or middle-class citizens and successful business people, but there is no indication that any of them made significant contributions or were otherwise important to Napa's history. The house was later primarily occupied by businesses, none of which appear to have been connected with any significant persons. Based on this, the property does not appear to qualify for listing in the National or California registers or for local listing under Criterion B/2/b.
NRHP Criterion C/CRHR Criterion 3/Napa HRI Landmark Criteria c,d,e (Design/Construction, Architects)
The house at 1778 Second Street exhibits a simple bungalow form with Classical Revival details, including the overall form, hipped roof, prominent porch, and Classical detailing including turned balustrades, simple window surrounds and columns. It is a good example of a working or middle-class cottage in this genre. Many other comparable houses exist in the neighborhood and throughout Napa, and the house is an excellent example of the style. The building has high physical integrity and contributes to the context of early twentieth century residential architecture in Napa. Research did not reveal the architect or builder, however, the house has the architectural merit necessary to qualify for local listing under Napa HRI Landmark Criterion c. The property does not appear to rise to the level of significance necessary to qualify for listing in the National or California registers under this criterion.
NRHP Criterion D/CRHR Criterion 4
Archival research provided no indication that the building has the potential to yield information important to the prehistory or history of Napa, California, or the nation. Therefore, it does not appear to be eligible for listing in the National or California registers under Criterion D/4.
The house at 1778 Second Street is now used as commercial offices and no longer retains its original use as a residence. However, the property is still understood as a residential building and therefore retains integrity of association. The building has never been moved and retains integrity of location. Located on the edge of the primarily commercial downtown core, the building's surroundings have likely changed over the years, but illustrate the natural growth of the y, and the property retains integrity of were replaced, the house currently appears to have r undertaken or that the elements were replaced in kind. ave been raised ½ story, but still conveys its character as a historic residence. Ultimately, the building ntegrity of design, materials and workmanship. Integrity of feeling is supported by the fact that the property is still cognizable as an early twentieth century residence, despite its current commercial use and altered foundation. Overall, the building retains sufficient historic integrity to convey its significance.
Conclusion cit setting. Although building permits indicate that the windows and siding ing, indicating that the permitted project was nevehistoric windows and sid
The house appears to h retains i re
1778 second Street appears to be individually eligible for local listing under Napa HRI Landmark Criteria a and c, and has therefore been assigned the California Historical Resource Status Code of 5S3, indicating that it appears to be individually eligible for local listing or designation through survey evaluation.
Page 4 of 3 Resource Name or # (Assigned by recorder) 1778 Second Street Recorded by Page & Turnbull, Inc. 9/14/2010 (rev. 2/2/2011) Continuation
Ancestry.com: Federal Census records, WWI and WWII draft cards, Public Records Indexes, etc.
City of Napa Assessor’s Office: deed records.
 
    City of Napa Building Division: building permits.
Coodley, Lauren and Paula Amen Schmitt. Napa: The Transformation of an American Town. San Francisco, CA: Arcadia Publishing, 2007.
Kilgallin, Anthony. Napa: An Architectural Walking Tour. San Francisco, CA: Arcadia Publishing, 2001. Napa city directories.
The Napa Valley Museum and Lin Weber. Napa. San Francisco, CA: Arcadia Publishing, 2004. Sanborn Fire Insurance maps (1886, 1891, 1901, 1910, 1924, 1949)
Weber, Lin. Old Napa Valley: The History to 1900. St. Helena, CA: Wine Ventures Publishing, 1998.
Weber, Lin. Roots of the Present: Napa Valley 1900 to 1950. St. Helena, CA: Wine Ventures Publishing, 2001.
Page 1 of 3
B1. Historic name: None
B2. Common name: None
B3. Original Use: Commercial
*B5. Architectural Style: Art Deco
*NRHP Status Code 6Z
*Resource Name or # 1324-1330 Third Street (APN: 003208003000)
 
    B4. Present use: Commercial
*B6. Construction History: (Construction date, alterations, and date of alterations)
1938: Constructed. 1961: New sign installed (1324). 1965: Wooden awning replaced with aluminum (1330 Third St.) 1967: Office remodeled (1330), addition of mezzanine (1324). 1976: Reroofed. 1980: Commercial remodel (1324), awning installed (1330). 1983: Sign installed (1324). 1999: Tenant improvements (1330).
*B7. Moved? No Yes Unknown Date: Original Location:
*B8. Related Features: None
B9a. Architect: Unknown
b. Builder: Unknown
*B10. Significance: Theme Downtown commercial development Area: Napa, California
Period of Significance 1938 Property Type Commercial Applicable Criteria N/A (Discuss importance in terms of historical or architectural context as defined by theme, period, and geographic scope. Also address integrity)
The commercial building at 1324-1330 Third Street appears to have been constructed in 1938 based on a deed transaction that occurred that year and the fact that the neighboring Uptown Theater was completed the year prior, which would likely have influenced the construction of adjacent commercial spaces. The property previously featured a one-story dwelling that stood at the corner of Third and Franklin streets, and a garage that stood where the subject building does now. In 1938, Lawrence Borg purchased the property from the Realty Finance Corp. The 1930 census shows Lawrence Borg living in Oakland at that time, but indicates that he was a theater owner, which may connect him with the development of the Napa properties that now contain the Uptown Theater and the subject building.
During the 1940s, the shop space at 1324 Third Street was occupied by Hartman Brothers Real Estate office, while the shop at 1330 Third Street was occupied by the Joseph Schifano Fur Shop. In 1956, the property was purchased by Harold Faulkner, in trust with the Bank of America, and by the late 1950s, the real estate office was replaced by a Christian Science Reading Room. In 1967, The Purple Cat art supply shop was located at 1324 Third Street, and the offices of Thomas F. and Phillip T. Malloy (the former dealing in life insurance, the latter dealing in real estate) were located at 1330 Third Street. In 1975, 1324 Third Street was occupied by the Service Employees International Union Local office, and 1330 Third Street was occupied by Napa Health Foods. The later remained in 1986, while 1324 Third Street came to be occupied by the Framery.
(continued)
Page 2 of 3 Resource Name or # (Assigned by recorder) 1324-1330 Third Street Recorded by Page & Turnbull, Inc. 9/15/2010 Continuation Significance
NRHP Criterion A/CRHR Criterion 1/Napa HRI Landmark Criterion a (Events, Patterns and Trends)
Constructed in 1938, the commercial building at 1324-1330 Third Street does not appear to be significant for association with events or trends important to the broad patterns of the history of Napa. This commercial building was constructed well after the initial development of the area, and supplanted an older house located on the property. It has general associations with postDepression growth, and was probably associated with the development of the neighboring Uptown Theater property; however, it is relatively insignificant in comparison to that project and its affects on the downtown area. Therefore, 1324-1330 Third Street does not appear to qualify for listing in the National or California registers or for local listing under Criterion A/1/a.
NRHP Criterion B/CRHR Criterion 2/Napa HRI Landmark Criterion b (Person)
The commercial building at 1324-1330 Third Street does not appear to be significant for association with the lives of persons significant to the history of Napa. Throughout the building's history, the owners and occupants appear to have been successful business people, but they do not appear to have made significant contributions or have been sufficiently important to the history of Napa to lend significance to the building that they owned or operated a business in. Therefore, the property does not appear to qualify for listing in the National or California registers or for local listing under Criterion B/2/b.
NRHP Criterion C/CRHR Criterion 3/Napa HRI Landmark Criteria c,d,e (Design/Construction, Architects)
This commercial building has a simple form that exhibits restrained Art Deco architectural styling. The building is generally intact and has not undergone any major alterations. However, despite its good physical integrity it is not a sufficiently remarkable example of a type, method, or style of architecture. More notable examples of the Art Deco style exist throughout Napa, including the Uptown Theater next door to the subject property. Additionally, research did not reveal the architect or builder of the building. Ultimately, it does not have the high architectural merit or association with a master architect necessary to qualify for listing in the National or California registers or for local listing under Criterion C/3/c,d,e.
NRHP Criterion D/CRHR Criterion 4
Archival research provided no indication that the building has the potential to yield information important to the prehistory or history of Napa, California, or the nation. Therefore, it does not appear to be eligible for listing under Criterion D/4.
The building at 1324-1330 Third Street retains its original use as a commercial property housing multiple retail shops. Therefore, the property retains integrity of association. The building has never been moved and retains integrity of location. When constructed, the building was located within a largely residential neighborhood surrounded by the river and bounded by the railroad tracks to the west. The building is still located in the heart of the commercial downtown, and thus retains its integrity of setting. The building has not been drastically altered (the only additions have been various signs and awnings) and retains integrity of design, materials and workmanship. These factors contribute to integrity of feeling, which is supported by the fact that the property is still recognizable as a mid-century commercial building. Overall, the building retains historic integrity.
1324-1330 Third Street does not appear eligible for listing in the national, state, or local registers under any criteria, and has therefore been assigned the California Historical Resource Status Code of 6Z, indicating that it has been found ineligible for National, California or local designation through survey evaluation.
CONTINUATION SHEET 3 of Name recorder) 1324-1330 Recorded Page Turnbull, Inc. 9/15/2010
Ancestry.com: Federal Census records, WWI and WWII draft cards, Public Records Indexes, etc.
City of Napa Assessor’s Office: deed records.
City of Napa Building Division: building permits.
Coodley, Lauren and Paula Amen Schmitt. Napa: The Transformation of an American Town. San Francisco, CA: Arcadia Publishing, 2007.
Kilgallin, Anthony. Napa: An Architectural Walking Tour. San Francisco, CA: Arcadia Publishing, 2001. Napa city directories.
The Napa Valley Museum and Lin Weber. Napa. San Francisco, CA: Arcadia Publishing, 2004. Sanborn Fire Insurance maps (1886, 1891, 1901, 1910, 1924, 1949)
Weber, Lin. Old Napa Valley: The History to 1900. St. Helena, CA: Wine Ventures Publishing, 1998.
Weber, Lin. Roots of the Present: Napa Valley 1900 to 1950. St. Helena, CA: Wine Ventures Publishing, 2001.
Page 1 of 2
B1. Historic name: Yates & Cochrane Sporting Goods
B2. Common name: Alexis Baking Company (ABC) and Cafe
B3. Original Use: Commercial
*B5. Architectural Style: Utilitarian
*NRHP Status Code 6Z
*Resource Name or # 1517-1521 Third Street (APN: 003203002000)
B4. Present use: Commercial
*B6. Construction History: (Construction date, alterations, and date of alterations)
1954: Constructed. 1962: Interior repairs, demolition of neighboring service station at corner of Third and Fourth streets. 1965: Addition constructed. 1971: Sign installed. 1973: Alterations, sign installed. 1979: Reroofed. 1986: Door replaced, window installed.
*B7. Moved? No Yes Unknown Date: Original Location:
*B8. Related Features: None
B9a. Architect: Unknown
b. Builder: Unknown
*B10. Significance: Theme Downtown commercial development
 
    Area: Napa, California
Period of Significance 1954 Property Type Commercial Applicable Criteria N/A
(Discuss importance in terms of historical or architectural context as defined by theme, period, and geographic scope. Also address integrity)
The building at 1517 Third Street appears to have been constructed in 1954. The property was purchased from Margaret A. Endicott by Gilbert W. and Ruth H. Yates in 1953. Later the same year, ownership was split between the Yates and John D. and Virginia T. Cochrane. At the time of purchase, two identical two-story dwellings stood on the site of the current building and a gas station was located to the west, at the corner of Third and Fourth streets. The two houses were removed and the current building was constructed to house Yates & Cochrane Sporting Goods. It also appears that Yates & Cochrane took over operation of the existing service station, which bore the Yates & Cochrane name.
In 1962, the service station was demolished and, in 1965, an addition was constructed on the west side of 1517 Third Street. The addition housed a shop space addressed 1521 Third Street. In 1967, Mitchell's Barber was located at this address. By 1975, Yates & Cochrane Sporting Goods vacated 1517 Third Street and was replaced by the Napa Bakery. Evan's Airport Service was located at 1521 Third Street. Then, in 1976, Vintage Enterprises purchased the property.
In 1986, Rolando and Nestor Macaraig purchased the property. The Napa Bakery remained throughout this period, but Luigi's Pizzaria was eventually located in 1521 Third Street. Today, the property is still owned by the Macaraiges. 1517 Third Street is occupied by the Alexis Baking Company and 1521 Third Street is occupied by Chateau Barber Shop. (continued)
CONTINUATION SHEET 2 of Name # (Assigned by recorder) 1517-1521 Street Recorded Turnbull, 9/13/2010 Significance
NRHP Criterion A/CRHR Criterion 1/Napa HRI Landmark Criterion a (Events, Patterns and Trends)
Constructed in 1954, the commercial building at 1517-1521Third Street does not appear to be significant for association with events important to the broad patterns of history. The building is located in the heart of downtown Napa, which has always been primarily commercial in nature. This commercial building was constructed well after the initial development of the area, but did play a part in the general growth and development of the downtown shopping district, especially as it relates to overall prosperity and an increase in development after World War II. However, the building does not have sufficient or specific associations with these trends to set it apart as significant. Therefore, 1517-1521 Third Street does not appear to qualify for listing in the National or California registers or for local listing under Criterion A/1/a.
NRHP Criterion B/CRHR Criterion 2/Napa HRI Landmark Criterion b (Person)
The commercial building at 1517-1521 Third Street does not appear to be significant for association with the lives of persons significant to our past. For much of the building's history it was owned by the Yates & Cochrane partnership and occupied by the Yates & Cochrane Sporting Goods store. Although Gilbert Yates and John Cochrane appear to have been successful Napa businessmen, they do not appear to have any outstanding contributions to their names are not historically significant people. The case holds true for other owners and tenants of the building as well. Therefore, the property does not appear to qualify for listing in the National or California registers or for local listing under Criterion B/2/b.
NRHP Criterion C/CRHR Criterion 3/Napa HRI Landmark Criteria c,d,e (Design/Construction, Architects)
This commercial building exhibits simple, utilitarian commercial styling. It is not a prime example of any particular style. The building has a large addition on the west side, which was constructed in 1965. It is in the same architectural style as the original building, but is not well executed. Research did not reveal the architect or builder of the building. Ultimately, it does not appear to qualify for listing in the National or California registers or for local listing under Criterion C/3/c,d,e.
NRHP Criterion D/CRHR Criterion 4
Archival research provided no indication that the building has the potential to yield information important to the prehistory or history of Napa, California, or the nation. Therefore, it does not appear to be eligible for listing in the National or California registers under Criterion D/4.
The building at 1517-1521 Third Street, retains its original use as a commercial property housing retail shop spaces. Therefore, the property retains integrity of association. The building has never been moved and retains integrity of location. Located in the primarily commercial downtown core, the building's surroundings have generally remained the same over the years and the property retains integrity of setting. The building has been altered, including a large addition. The addition was made within a decade of the original building's construction and is executed in the same style, and therefore retains integrity of materials and workmanship. The design intent and related functionality of the building is evident and of the property retains integrity of design. Integrity of feeling is supported by the fact that the property is generally recognizable as mid-century commercial building. Overall, the property retains historic integrity.
1517-1521 Third Street does not appear eligible for listing in the national, state, or local registers under any criteria, and has therefore been assigned the California Historical Resource Status Code of 6Z, indicating that it has been found ineligible for National, California or local designation through survey evaluation.
CONTINUATION SHEET of recorder) 1517-1521 Recorded Turnbull, Inc.
Ancestry.com: Federal Census records, WWI and WWII draft cards, Public Records Indexes, etc.
City of Napa Assessor’s Office: deed records.
City of Napa Building Division: building permits.
Coodley, Lauren and Paula Amen Schmitt. Napa: The Transformation of an American Town. San Francisco, CA: Arcadia Publishing, 2007.
Kilgallin, Anthony. Napa: An Architectural Walking Tour. San Francisco, CA: Arcadia Publishing, 2001. Napa city directories.
The Napa Valley Museum and Lin Weber. Napa. San Francisco, CA: Arcadia Publishing, 2004. Sanborn Fire Insurance maps (1886, 1891, 1901, 1910, 1924, 1949)
Weber, Lin. Old Napa Valley: The History to 1900. St. Helena, CA: Wine Ventures Publishing, 1998.
Weber, Lin. Roots of the Present: Napa Valley 1900 to 1950. St. Helena, CA: Wine Ventures Publishing, 2001.
Page 1 of
B1. Historic name: None
B2. Common name: None
B3. Original Use: Residential
*NRHP Status Code 6Z
*Resource Name or # 1532 Third Street (APN: 003202010000)
B4. Present use: Residential
*B5. Architectural Style: Simple Bungalow with Classical Revival influences
*B6. Construction History: (Construction date, alterations, and date of alterations)
Circa 1905: Constructed. 1951: Front steps repaired. 1980: Work performed on garage. 1987: Dormer windows added.
*B7. Moved? No Yes Unknown Date: Original Location:
*B8. Related Features: None
B9a. Architect: Unknown b. Builder: Unknown
*B10. Significance: Theme Downtown residential development Area: Napa, California Period of Significance ca. 1905 Property Type Residential Applicable Criteria Napa HRI Landmark Criterion a (Discuss importance in terms of historical or architectural context as defined by theme, period, and geographic scope. Also address integrity)
The house at 1532 Third Street was constructed circa 1905. It is possible that it may have been constructed as late as 1909, which is when the property was sold by Cora E. Boyce to Eliza J. Parsons. Cora Boyce was a single woman who lived on her own income, according to census records. In 1910 she lived in St. Helena, likely after relocating from Napa the year prior. The buyer of the property, Eliza Parsons, was a 60 year old widow who also lived on her own income. The 1910 census shows her residing at 626 Third Street, which was the original address of the subject property.
In 1912, Lillis Parsons either purchased or inherited the property from Eliza Parsons, who was likely her mother. A later deed record gives the name Lillis Henry, which matches census records. The 1910 and 1920 census list Lillis and Edward Henry's address at 518 Third Street, down the street from the subject property. This also suggests that the Henrys rented the subject house, while maintaining their residence at 518 Third Street.
In April 1922, Lillis Henry sold the house to her son and daughter-in-law, Corwin R. and Ruth F. Henry. Corwin Henry was an insurance salesman. The Henrys quickly sold the house again in October 1922 to Frank H. and Martha (Mattie) R. Walker. The 1930 census shows the Walkers living at 1532 Third Street with their 9-year-old grandson. Frank Walker was a repairman and electrician for Napa's electric railroad. In 1944, ownership of the property transferred in whole to Martha Walker, likely upon the death of her husband. By 1949, the house had been split into two flats, with Martha Walker occupying one unit and Ray and Lucille Brown living in the unit numbered 1532A. (continued)
 
    CONTINUATION SHEET 2 Name recorder) 1532 Turnbull,
In 1959, the house contained three residential units with apartment 1532A occupied by Emma Delk, a plant worker at Rough Rider; and apartment 1532B occupied by Viola Shelley, a widow.
In 1965, the house was sold to Eva Skivington, who continued to rent the two units to Emma Delk and Viola Shelley. The unit formerly occupied by Martha Walker was leased to Homer Morgan, a driver. In 1975, 1532 Third Street was sold to the current owners Cornelius J. and Marie Greive.
NRHP Criterion A/CRHR Criterion 1/Napa HRI Landmark Criterion a (Events, Patterns and Trends)
Constructed circa 1905, the house at 1532 Third Street does not appear to be significant for association with events important to the broad patterns of history. The building is located in downtown Napa, which has always been primarily commercial in nature, although the commercial core is surrounded by residential uses. This residential building is not associated with the growth of downtown as a commercial center, but was constructed during an early phase of the area's development, which included residential properties. It is an important extant example of this early residential development and played a part in the general growth and development of the area, which makes it significant. Therefore, 1532 Third Street appears to qualify for local listing under Napa HRI Landmark Criterion a. It does not rise to the level of significance necessary for listing in the National or California registers under Criterion A/1.
NRHP Criterion B/CRHR Criterion 2/Napa HRI Landmark Criterion b (Person)
The house at 1532 Third Street does not appear to be significant for association with the lives of persons significant to our past. For much of the building's history, it was a single family residence occupied or owned by various members of the Parsons/Henry family. Members of the family appear to have been upper or middle class citizens, but there is no indication that they made significant contributions or were otherwise important to Napa's history. Likewise, the Walkers appear to have been a common, working-class family, as do Martha Walker's and Eva Skivington's later borders. Therefore, the property does not appear to qualify for listing in the National or California registers or for local listing under Criterion B/2/b.
NRHP Criterion C/CRHR Criterion 3/Napa HRI Landmark Criteria c,d,e (Design/Construction, Architects)
This house exhibits early twentieth-century styling that uses the Simple Bungalow form with simple Classical detailing, including a prominent porch with arched openings, overall form, and classically revival detailing such as window and door surrounds, columns, and turned balustrades. It is a good example of a working-class cottage, but has been significantly altered so that it is not longer a good example of the style and type. Additionally, research did not reveal the architect or builder of the building. Ultimately, it does not appear to qualify for listing in the National or California registers or for local listing under Criterion C/3/c,d,e.
NRHP Criterion D/CRHR Criterion 4
Archival research provided no indication that the building has the potential to yield information important to the prehistory or history of Napa, California, or the nation. Therefore, it does not appear to be eligible for listing in the National or California registers under Criterion D/4.
The house at 1532 Third Street retains its original use as a residence. Therefore, the property retains integrity of association. The building has never been moved and retains integrity of location. Located on the edge of the primarily commercial downtown core, the building's surroundings have generally remained the same over the years, including both commercial and residential properties in the vicinity, and the property retains integrity of setting. The building has been altered through the addition of dormers, which resulted in a significant change to the overall form and detailing of the building. Therefore, the property does not retain integrity of materials, workmanship or design. Integrity of feeling is supported by the fact that the property is still recognizable as an early twentieth-century residence. Overall, the property does not retain historic integrity.
1532 Third Street does not appear eligible for listing in the national, state, or local registers under any criteria, and has therefore been assigned the California Historical Resource Status Code of 6Z, indicating that it has been found ineligible for National, California or local designation through survey evaluation.
CONTINUATION SHEET 3 of Name 1532 Recorded Page & Turnbull, Inc.
Ancestry.com: Federal Census records, WWI and WWII draft cards, Public Records Indexes, etc.
City of Napa Assessor’s Office: deed records.
City of Napa Building Division: building permits.
Coodley, Lauren and Paula Amen Schmitt. Napa: The Transformation of an American Town. San Francisco, CA: Arcadia Publishing, 2007.
Kilgallin, Anthony. Napa: An Architectural Walking Tour. San Francisco, CA: Arcadia Publishing, 2001. Napa city directories.
The Napa Valley Museum and Lin Weber. Napa. San Francisco, CA: Arcadia Publishing, 2004. Sanborn Fire Insurance maps (1886, 1891, 1901, 1910, 1924, 1949)
Weber, Lin. Old Napa Valley: The History to 1900. St. Helena, CA: Wine Ventures Publishing, 1998.
Weber, Lin. Roots of the Present: Napa Valley 1900 to 1950. St. Helena, CA: Wine Ventures Publishing, 2001.
Page 1
B1. Historic name: George D. Reynolds Gas Station / Gilmore Oil Co.
B2. Common name: Rico's Auto Detailing
*NRHP Status Code 7N
*Resource Name or # 1538 Third Street (APN: 003201006000)
B3. Original Use: Commercial B4. Present use: Commercial
*B5. Architectural Style: Art Moderne
*B6. Construction History: (Construction date, alterations, and date of alterations)
Circa 1940: Constructed. 1997: Gas lines replaced.
*B7. Moved? No Yes Unknown Date: Original Location:
*B8. Related Features: None
B9a. Architect: Unknown b. Builder: Unknown
*B10. Significance: Theme Downtown commercial development
 
    Area: Napa, California
Period of Significance ca. 1940 Property Type Commercial Applicable Criteria NapaHRI Landmark Criteria a, c (Discuss importance in terms of historical or architectural context as defined by theme, period, and geographic scope. Also address integrity)
The gas station at 1538 Third Street was constructed around 1940. Prior to that time, the property was owned by John Darms, Herman Geiger and the Salem Church of the Evangelical Association. The 1924 Sanborn map shows the Salem Evangelical Church located on the property and notes that it had a German congregation (no longer extant).
In 1940, the property was sold to Felix J. Vanderschoot Jr. and his wife, Margaret. No biographical information was available for the Vanderschoots and it is unknown if they were responsible for the construction of the gas station at 1538 Third Street. In 1941, however, they sold the property to the Gilmore Oil Company and the following year is the first time city directories show a gas station operating at the address. The proprietor of the gas station was George D. Reynolds.
In 1945, Gilmore Oil Company sold the property to the General Petroleum Group of California. In the late 1940s, the gas station was run by Richard A. Paddock. By 1959, it was known as Eddleman's Mobil Gas Service, run by Frank G. Eddleman. The General Petroleum Group of California eventually changed its name to Socony Mobil Oil Company, and in 1965, sold the subject property to Harvey B. and Ellanora M. Anderson. In 1967, the gas station was known as Wycoff's Mobil Service gas station.
In 1975, the property was sold to Leslie L. (Lee) and Diana Blessing, and housed Lee's Service Center Tires, operated by Lee Blessing. In 1980, the property was sold to Jerome E. and Eileen L. Roach. Later in 1980, it was sold to Jerome E. Sather. (continued)
CONTINUATION SHEET 2 of 3 Name or # (Assigned by recorder) 1538 Third Street Recorded by Page & Turnbull, Inc. 9/14/2010
In 1984, the property was purchased by Harold B. and Jocelyn R. Wolfson, who sold it the following year to the current owner, Joseph T. Newman. The gas station formerly contained the Joseph Newman Co. auto detail business, but now houses Rico's Auto Detailing.
NRHP Criterion A/CRHR Criterion 1/Napa HRI Landmark Criterion a (Events, Patterns and Trends)
Constructed circa 1940, the gas station at 1538 Third Street appears to be significant for association with early car culture in Napa. The building is located in the heart of downtown Napa, which has always been primarily commercial in nature. The gas station was constructed well after the initial development of the area, but did play a part in the general growth and development of the downtown. It was constructed during a time when automobile ownership and use was on the rise and businesses serving motorists were booming. By 1949, there were three gas stations located within one block of the intersection of Third and Fourth Streets, where 1538 Third Street is located. Only two remain but illustrate the popularity of car culture in the 1940s. For these reasons, 1538 Third Street appears to qualify for local listing under Napa HRI Landmark Criterion a. It does not rise to the level of significance necessary for listing in the National or California registers under Criterion A/1.
NRHP Criterion B/CRHR Criterion 2/Napa HRI Landmark Criterion b (Person)
The gas station at 1538 Third Street does not appear to be significant for association with the lives of persons significant to our past. For much of the building's history it was owned by various petroleum companies and the business owners or managers, though successful business people, do not appear to have any outstanding contributions to their names and are not historically significant figures. Therefore, the property does not appear to qualify for listing in the National or California registers or for local listing under Criterion B/2/b.
NRHP Criterion C/CRHR Criterion 3/Napa HRI Landmark Criteria c,d,e (Design/Construction, Architects)
This gas station exhibits the Art Moderne architectural style, evident in the horizontal emphasis of the structure, delineated by raised trim and rounded corners. It is a prime example of the style, which was inspired by the mid-century interest in transportation and vehicular design, which the “speed lines” of the Art Moderne style are meant to evoke. The building is in good condition and has not been altered. Research did not reveal the architect or builder of the building, but ultimately, it has the architectural merit necessary to qualify for individual local listing under Napa HRI Landmark Criteria c and e. The significance of the property does not appear to rise to the level necessary to qualify for listing in the National or California registers under this criterion.
NRHP Criterion D/CRHR Criterion 4
Archival research provided no indication that the building has the potential to yield information important to the prehistory or history of Napa, California, or the nation. Therefore, it does not appear to be eligible for listing in the National or California registers under Criterion D/4.
The building at 1538 Third Street retains its original use as a commercial building with automotive uses. Therefore, the property retains integrity of association with early car culture and automotive themes. The building has never been moved and thus retains integrity of location. Located in the primarily commercial downtown core, the building's surroundings have generally remained the same over the years and the property retains integrity of setting. The building has not been altered, so integrity of materials and workmanship is retained. The design intent and related functionality, especially in terms of the remaining gas pump island and canopy, is intact and the property retains integrity of design. Integrity of feeling is supported by the fact that the property is readily recognizable as mid-century gas station. Overall, the property retains sufficient historic integrity to convey its significance
This analysis demonstrates that 1538 Third Street appears to be individually eligible for local listing under Napa HRI Landmark criteria c and e, and Page & Turnbull therefore recommends that the property assigned a California Historical Resource Status Code of 5S3, indicating that it appears to be individually eligible for local listing or designation through survey evaluation. The significance of the property does not appear to rise to the level necessary to qualify for listing in the national or state registers.
NOTE: Page & Turnbull found the property at 1538 Third Street to meet the eligibility criteria for listing as a local landmark, and suggested a “5S3” status code. However, during the public outreach process for this survey, the property owner of 1538 Third Street objected to the survey findings, and a peer review of Page & Turnbull’s findings was conducted, resulting in a difference of professional opinions. The “7N” status code assigned here indicates that further study will be needed to resolve this difference of opinions; in the future, the City Council could consider supplemental information or opinions in addition to Page & Turnbull’s findings to determine whether this property is eligible for local landmark designation.
CONTINUATION SHEET 1538 Recorded Turnbull,
Ancestry.com: Federal Census records, WWI and WWII draft cards, Public Records Indexes, etc.
City of Napa Assessor’s Office: deed records.
City of Napa Building Division: building permits.
Coodley, Lauren and Paula Amen Schmitt. Napa: The Transformation of an American Town. San Francisco, CA: Arcadia Publishing, 2007.
Kilgallin, Anthony. Napa: An Architectural Walking Tour. San Francisco, CA: Arcadia Publishing, 2001. Napa city directories.
The Napa Valley Museum and Lin Weber. Napa. San Francisco, CA: Arcadia Publishing, 2004. Sanborn Fire Insurance maps (1886, 1891, 1901, 1910, 1924, 1949)
Weber, Lin. Old Napa Valley: The History to 1900. St. Helena, CA: Wine Ventures Publishing, 1998.
Weber, Lin. Roots of the Present: Napa Valley 1900 to 1950. St. Helena, CA: Wine Ventures Publishing, 2001.
Page 1 2
B1. Historic name: None
B2. Common name: None
*NRHP Status Code 5S3
*Resource Name or # 1766 003251019000)
B3. Original Use: Residential B4. Present use: Residential
*B5. Architectural Style: Craftsman Bungalow
*B6. Construction History: (Construction date, alterations, and date of alterations)
1922: Constructed. 1960: Plumbing work completed. 1994: Interior remodeled, ramp installed, parking lot added, garage demolished. 1997: Reroofed, work done on back porch roof. 1998: Side wall replaced, termite repairs on porch.
*B7. Moved? No Yes Unknown Date: Original Location:
*B8. Related Features: Parking lot to east and rear.
B9a. Architect: Unknown b. Builder: Unknown
*B10. Significance: Theme Downtown residential development
 
    Area: Napa, California Period of Significance 1922 Property Type Residential Applicable Criteria Napa HRI Landmark Criterion a, c (Discuss importance in terms of historical or architectural context as defined by theme, period, and geographic scope. Also address integrity)
According to Assessor's data, the house at 1766 Third Street was constructed in 1922. It appears to have originally been owned by Hattie A. Meyers, and Albert C. and Esther Umhalt. The Umhalts lived at the subject property, while Hattie Meyers appears to have resided elsewhere. Mr. Umhalt was a dentist who had a practice in the Migliavaca Building in downtown Napa.
In 1931, Meyers and the Umhalts sold 1766 Third Street to Solon W. and Amanda Bailhache. In 1930, the Bailhaches were living in Yountville and Solon was employed as a farmer. Upon purchasing the subject property, they moved into the house and are listed at the address in city directories. By 1935, Solon Bailhache had died and Amanda continued to live in the house until 1959. The following year, the property was sold to Edgar and Gertrude K. Dunlap, who were retired. Census records indicate that Edgar Dunlap was a farmer prior to his retirement and had lived in Yountville before moving to Napa.
By 1975, Gertrude Dunlap was widowed and, in 1978, she sold the property to Lee A. Ward, an architect, and his wife, Olga, who resided in the house until late 1994. In 1994, it appears that the property was sold to the current owners, William J. and Colette Hjerpe.
(continued)
NRHP Criterion A/CRHR Criterion 1/Napa HRI Landmark Criterion a (Events, Patterns and Trends)
Constructed in 1922, the house at 1766 Third Street appears to be significant for association with the early development of downtown Napa. The building is located in downtown Napa, which has always been primarily commercial in nature, although the commercial core is surrounded by residential uses. This residential building is not associated with the growth of downtown as a commercial center, but was constructed during an early phase of the area's development, which included residential properties. It is an important extant example of this early residential development and played a part in the general growth and development of the area, which makes it significant. Therefore, 1766 Third Street appears to qualify for local listing under Napa HRI Landmark Criterion a. It does not rise to the level of significance necessary for listing in the National or California registers under Criterion A/1.
NRHP Criterion B/CRHR Criterion 2/Napa HRI Landmark Criterion b (Person)
The house at 1766 Third Street does not appear to be significant for association with the lives of persons significant to our past. Throughout the building's history, it was a single family residence owned and occupied by the Umhalt, Bailhach, Dunlap and Ward families. These people appear to have been working and middle class citizens, but there is no indication that they made significant contributions or were otherwise important to Napa's history. Therefore, the property does not appear to qualify for listing in the National or California registers or for local listing under Criterion B/2/b.
NRHP Criterion C/CRHR Criterion 3/Napa HRI Landmark Criteria c,d,e (Design/Construction, Architects)
This house exhibits Craftsman styling in the Bungalow form, including exposed rafters, wood shingle siding, an attic dormer, and prominent porch supported by tapered columns. It is a good example of a middle-class cottage and has high physical integrity and contributes to the context of early twentieth century residential architecture in Napa. There are many other Craftsman bungalows in the neighborhood and city, and 1766 Third Street is a good example within the category. Research did not reveal the architect or builder of the building, but ultimately, it has the architectural merit necessary to qualify for local listing under Napa HRI Landmark Criterion c. The significance of the property does not appear to rise to the level necessary to qualify for listing in the National or California registers under this criterion.
NRHP Criterion D/CRHR Criterion 4
Archival research provided no indication that the building has the potential to yield information important to the prehistory or history of Napa, California, or the nation. Therefore, it does not appear to be eligible for listing in the National or California registers under Criterion D/4.
The house at 1766 Third Street retains its original use as a residence. Therefore, the property retains integrity of association. The building has never been moved and retains integrity of location. Located on the edge of the primarily commercial downtown core, the building's surroundings have generally remained the same over the years, including both commercial and residential properties in the vicinity, and the property retains integrity of setting. The building has not been drastically altered and related functionality of the building is evident, therefore, the property retains integrity of design, materials and workmanship. Integrity of feeling is supported by the fact that the property is still recognizable as an early twentieth-century residence. Overall, the property retains sufficient historic integrity to convey its significance.
1766 Third Street appears to be individually eligible for local listing under Napa HRI Landmark Criteria a and c, and has therefore been assigned the California Historical Resource Status Code of 5S3, indicating that it appears to be individually eligible for local listing or designation through survey evaluation.
CONTINUATION SHEET 1766 Turnbull, Inc.
Ancestry.com: Federal Census records, WWI and WWII draft cards, Public Records Indexes, etc.
City of Napa Assessor’s Office: deed records.
City of Napa Building Division: building permits.
 
    Coodley, Lauren and Paula Amen Schmitt. Napa: The Transformation of an American Town. San Francisco, CA: Arcadia Publishing, 2007.
Kilgallin, Anthony. Napa: An Architectural Walking Tour. San Francisco, CA: Arcadia Publishing, 2001. Napa city directories.
The Napa Valley Museum and Lin Weber. Napa. San Francisco, CA: Arcadia Publishing, 2004. Sanborn Fire Insurance maps (1886, 1891, 1901, 1910, 1924, 1949)
Weber, Lin. Old Napa Valley: The History to 1900. St. Helena, CA: Wine Ventures Publishing, 1998.
Weber, Lin. Roots of the Present: Napa Valley 1900 to 1950. St. Helena, CA: Wine Ventures Publishing, 2001.
Primary façade of 1766 Third Street, view north from Third Street. (Page & Turnbull 2010)
Page 1 2
B1. Historic name: None
B2. Common name: None
*NRHP Status Code 6Z
*Resource Name or # 1790 Third 003251021000)
B3. Original Use: Residential B4. Present use: Commercial
*B5. Architectural Style: Vernacular with Craftsman influence
*B6. Construction History: (Construction date, alterations, and date of alterations)
Circa 1915: Constructed. 1958: New siding installed. 1968: Remodeled, new porch added. 1983: Storage shed constructed. 1985: Garage and house reroofed. 2002: Remodeled due to fire damage, 23 windows replaced with vinyl, siding replaced. 2004: ADA lift installed.
*B7. Moved? No Yes Unknown Date: Original Location:
*B8. Related Features: Parking at rear.
B9a. Architect: Unknown
b. Builder: Unknown
*B10. Significance: Theme Downtown residential development Area: Napa, California
Period of Significance ca. 1915
Property Type Residential Applicable Criteria N/A (Discuss importance in terms of historical or architectural context as defined by theme, period, and geographic scope. Also address integrity)
The house at 1790 Third Street was constructed around 1915. At that time, the property was owned by N.P. Nielson. The house appears to have been designed as a flats building containing two residential units, and is shown as such on the 1924 Sanborn map.
In 1923, the property was purchased by Harriet C. O'Neill. In 1929, the two flats were occupied by Mrs. O'Neill and J. S. and Georgia Maher. Harriett O'Neill continued to live at the property until at least 1949 and was joined in 1935 by Frank M. and Frances E. Gaffney (who worked for Napa Special Delivery and First National Bank, respectively). In 1942 the property was occupied by Edward and Gladys Ahlswede (Edward was a department head at Carither's department store), and in 1949 by W.E. Wentworth.
In 1953, the property was sold to Hulan G. and Vera M. Buchanan. Hulan was a driver for Napa State Hospital and Vera owned a beauty salon. In 1959, city directories show that the Buchanans lived in one flat, which also housed the Vera Mae Beauty Salon. Mrs. Maxine Cobler, a machine operator at the Rough Rider factory, lived in the other flat. Vera Buchanan's beauty salon remained in business at the address through the late 1980s. In 1967, Judy Truscott resided in the second flat. In 1975, only the Buchanans are listed at the address, and in 1986, Carol V. Fowler and Carmen Welsh lived in the second flat, while a third flat appears to have been added and was occupied by Harriet Hawk. (continued)
 
    NRHP Criterion A/CRHR Criterion 1/Napa HRI Landmark Criterion a (Events, Patterns and Trends)
Constructed circa 1915, the house at 1790 Third Street does not appear to be significant for association with events important to the broad patterns of history. The building is located in downtown Napa, which has always been primarily commercial in nature, although the commercial core is surrounded by residential uses. This residential building was constructed after the initial development of the area, and while it plays a part in the general growth and development of the area, it does not have sufficient or specific associations with these trends to set it apart as significant. Therefore, 1790 Third Street does not appear to qualify for listing in the National or California registers or for local listing under Criterion A/1/a.
NRHP Criterion B/CRHR Criterion 2/Napa HRI Landmark Criterion b (Person)
The house at 1790 Third Street does not appear to be significant for association with the lives of persons significant to our past. Throughout the building's history, it was owned and occupied by people who appear to have been working or middle class citizens. Many worked for business in downtown Napa, but there is no indication that any of these people made significant contributions or were otherwise important to Napa's history. Based on this, the property does not appear to qualify for listing in the National or California registers or for local listing under Criterion B/2/b.
NRHP Criterion C/CRHR Criterion 3/Napa HRI Landmark Criteria c,d,e (Design/Construction, Architects)
This house has a few Craftsman style details, but it has been significantly altered and lacks architectural character. It is a fair example of a working-class flats building, but is not an outstanding example of the type, largely due to the fact that it cannot be interpreted as a multiple-family flats dwelling from the exterior. The building is not a significant example of the Craftsman style because it has undergone some alterations that are evident from building permit records, such as the wholesale replacement of windows and siding. Additionally, research did not reveal the architect or builder of the building. Ultimately, the property does not appear to qualify for listing in the National or California registers or for local listing under Criterion C/3/c,d,e.
NRHP Criterion D/CRHR Criterion 4
Archival research provided no indication that the building has the potential to yield information important to the prehistory or history of Napa, California, or the nation. Therefore, it does not appear to be eligible for listing in the National or California registers under Criterion D/4.
The house at 1790 Third Street no longer retains its original use as a residence, and is instead used as offices for the Red Cross. The building is no longer understood as a residential property and therefore lacks integrity of association. The building has never been moved and retains integrity of location. Located on the edge of the primarily commercial downtown core, the building's surroundings have likely changed over the years, but illustrate the natural growth of the city, and so the property's integrity of setting is retained. The building has been altered by the wholesale replacement of the windows, siding and porch; therefore, the property does not retain integrity of materials and workmanship. Alterations have resulted in changes to the porch and entry, which no longer serve the function of a multiple-family dwelling. As a result of these changes, the property does not retain integrity of design. The property is no longer understood as an intact Craftsman style multiple family residence and therefore does not retain integrity of feeling. Overall, the property does not retain sufficient historic integrity to convey its significance.
1790 Third Street does not appear eligible for listing in the national, state, or local registers under any criteria, and has therefore been assigned the California Historical Resource Status Code of 6Z, indicating that it has been found ineligible for National, California or local designation through survey evaluation.
Ancestry.com: Federal Census records, WWI and WWII draft cards, Public Records Indexes, etc.
City of Napa Assessor’s Office: deed records.
 
    City of Napa Building Division: building permits.
Coodley, Lauren and Paula Amen Schmitt. Napa: The Transformation of an American Town. San Francisco, CA: Arcadia Publishing, 2007.
Kilgallin, Anthony. Napa: An Architectural Walking Tour. San Francisco, CA: Arcadia Publishing, 2001. Napa city directories.
The Napa Valley Museum and Lin Weber. Napa. San Francisco, CA: Arcadia Publishing, 2004. Sanborn Fire Insurance maps (1886, 1891, 1901, 1910, 1924, 1949)
Weber, Lin. Old Napa Valley: The History to 1900. St. Helena, CA: Wine Ventures Publishing, 1998. Weber, Lin. Roots of the Present: Napa Valley 1900 to 1950. St. Helena, CA: Wine Ventures Publishing, 2001.
Page 1 of 3
B1. Historic name: None
B2. Common name: None
B3. Original Use: Commercial
*B5. Architectural Style: None
*NRHP Status Code 6Z
*Resource Name or # 1322 Third St/819 Randolph St APN: 003208002000
B4. Present use: Commercial
*B6. Construction History: (Construction date, alterations, and date of alterations) 1322 Third Street
Circa 1929: Constructed. Alterations include replacement of ground floor storefronts, re-cladding of the second floor with stucco, and removal of any ornamentation (unknown date)
819 Randolph Street
Circa 1929: Constructed. 7/20/1961: Addition to building (plumbing). 7/24/1961: Remodel building. 10/4/1961: Sign. 12/1962: Alterations. 3/30/1965: New construction - retail addition. 1/30/1975: Underground electrical hook-up. 1/10/1994: Replace heater. 7/19/1994: Add air conditioning. 1/14/1986: Reroof. 10/23/2002: New awning. 3/3/2003: Commercial awning installation.
*B7. Moved? No Yes Unknown Date: Original Location:
*B8. Related Features:
The subject building at 1322 Third Street shares a parcel with Zeller’s Hardware Store (819 Randolph Street). A parking lot at the corner of Third and Randolph Street separates the two.
 
    B9a. Architect: Unknown b. Builder: Unknown
*B10. Significance: Theme Downtown commercial development Area: Napa, California
Period of Significance circa 1929
Property Type Commercial Applicable Criteria N/A (Discuss importance in terms of historical or architectural context as defined by theme, period, and geographic scope. Also address integrity)
The commercial building at 1322 Third Street was constructed circa 1929. According to the 1949 Sanborn Fire Insurance map the building contained a store, auto repair, and storage. The adjacent building at 819 Randolph Street (now Zeller’s Hardware) was shown as a one-story wood truss and concrete building is situated roughly in the middle of the block fronting Randolph Street and was used for auto sales and service with gas and oil service station adjacent to the building.
According to Deed Records, the property was purchased by Hugo and Virginia Zeller in August 1939. City Directories indicate that the property had long been used for auto sales and service, although 1322 Third Street has had a variety of commercial uses. In 1929 Yeamans & Lauritsen ran a Pontiac Motor car dealership on the property (819 Randolph Street), while 1322 Third Street housed Beatrice Music and Art Shoppe, operated by Beatrice LeBlanc. (continued)
B11. HP6.
Trinomial
Page 2 of 4 Resource Name or # (Assigned by recorder) 1322 Third Street/819 Randolph Street Recorded by Page & Turnbull, Inc. 9/30/2010 Continuation Update
From about 1933 to 1950, 1322 Third Street was used as the Amy Burns Beauty Shop. Gasser Motors operated on the property at 819 Randolph Street in 1935; and Moffit Motors from about 1942 to 1949. In 1950, the building at 819 Randolph Street was vacant, while 1322 Third Street was used as the Princess Beauty Salon. By 1953, the property’s use had changed to the Lakeside Coffee Shop/Ice Cream Bar (819 Randolph Street) and real estate offices (1322 Third Street). In 1961 the property’s use appears to have changed to a hardware store when Hugo Zeller remodeled 819 Randolph Street. In 1965 Zeller enlarged the building at 819 Randolph Street with a retail addition. 1322 Third Street appears to have undergone alterations to its storefront and façade at an unknown date.
NRHP Criterion A/CRHR Criterion 1/Napa HRI Landmark Criterion a (Events, Patterns and Trends)
Constructed circa 1940, the commercial buildings at 1322 Third Street & 819 Randolph Street do not appear to be significant for association with events important to the broad patterns of history. These commercial buildings were constructed well after the initial development of the area and supplanted older houses located on the property; they are thus is not associated with any significant patterns or trends. While the property’s original use as a car dealership was associated with the growing popularity of automobiles, the collection of dealerships along Soscol Avenue—Napa’s “Auto Row”—represent the automotive theme better than this former downtown dealership. Therefore, 819 Randolph does not appear to be eligible under NRHP/CRHR Criterion A/1/a.
NRHP Criterion B/CRHR Criterion 2/Napa HRI Landmark Criterion b (Person)
The commercial buildings at 1322 Third Street & 819 Randolph Street do not appear to be eligible for NRHP/CRHR Criterion B/2 for association with the lives of persons significant to our past. Throughout the buildings’ history, many of the owners have also been proprietors of a business located within the buildings. While these people were likely successful merchants, they do not appear to have had been sufficiently important to the history of Napa to lend significance to the buildings at 1322 Third Street & 819 Randolph Street. The building’s most prominent owners were the Gasser family, who were notable in early automobile commerce in Napa and have continued to be a philanthropic and community development influence in the city. While the subject property was associated with Gasser Motors for a brief period, their primary downtown showroom was across the street at 810 Randolph Street; furthermore, the building at 333 Soscol Avenue (1954) is a better example of the Gassers’ successful automobile dealership: the Soscol Avenue location was the company’s flagship location, and was purpose-built at the peak of its business. Therefore, the property does not have significance under Criterion B/2/b.
NRHP Criterion C/CRHR Criterion 3/Napa HRI Landmark Criteria c,d,e (Design/Construction, Architects)
The buildings at 1322 Third Street & 819 Randolph Street do not contain the hallmarks of any architectural styles. These commercial buildings have undergone major alterations from the 1960s to the present and no longer retain physical integrity. Additionally, research did not reveal the architect or builder of the buildings. Ultimately, they do not have the high architectural merit or association with a master architect necessary to qualify under Criterion C/3/c, d, e.
NRHP Criterion D/CRHR Criterion 4
Archival research provided no indication that the property has the potential to yield information important to the prehistory or history of Napa, California, or the nation. Therefore, it does not appear to be eligible for listing under Criterion D/4/d.
The buildings at 1322 Third Street & 819 Randolph Street retain their original commercial use, but are no longer associated with a car dealership. Therefore, the property’s integrity of association with automotive development themes is diminished. The building has never been moved and, so, has strong integrity of location. When constructed, the buildings were located within a largely commercial neighborhood which retains its commercial character. The building at 819 Randolph Street was significantly altered in the 1960s with the addition a retail area, storefront alterations, signs and awnings; 1322 Third Street has had its second floor siding replaced with stucco and its storefronts have been replaced. Because of these alterations, the property no longer retains integrity of design, materials and workmanship. Because of these alterations, the property is no longer recognizable as an early commercial building, and therefore does not retain integrity of the feeling. Overall, the buildings at 1322 Third Street & 819 Randolph Street lack sufficient integrity to convey the property’s significance under any criteria.
The property at 1322 Third Street/819 Randolph Street does not appear eligible for listing in the national, state, or local registers under any criteria, and has therefore been assigned a California Historical Resource Status Code of 6Z (ineligible for National, California or local designation through survey evaluation).
Ancestry.com: Federal Census records, Public Records Indexes, etc.
City of Napa Assessor’s Office: deed records.
City of Napa Building Division: building permits.
Coodley, Lauren and Paula Amen Schmitt. Napa: The Transformation of an American Town. San Francisco, CA: Arcadia Publishing, 2007.
Kilgallin, Anthony. Napa: An Architectural Walking Tour. San Francisco, CA: Arcadia Publishing, 2001. Napa city directories.
The Napa Valley Museum and Lin Weber. Napa. San Francisco, CA: Arcadia Publishing, 2004. Sanborn Fire Insurance maps (1886, 1891, 1901, 1910, 1924, 1949)
Weber, Lin. Old Napa Valley: The History to 1900. St. Helena, CA: Wine Ventures Publishing, 1998. Weber, Lin. Roots of the Present: Napa Valley 1900 to 1950. St. Helena, CA: Wine Ventures Publishing, 2001.
State California
Page 1 of 3
B1. Historic name: None
B2. Common name: None
*NRHP Status Code 6Z
*Resource Name or # 1214 Yajome Street APN: 003147006000
B3. Original Use: Residential B4. Present use: Residential
*B5. Architectural Style: Vernacular
*B6. Construction History: (Construction date, alterations, and date of alterations)
Circa 1930: Constructed. 1980: Underground electrical service. 1982: Repair motor vehicle damage. 2003: Relocate existing electrical service. 2005: Building reroofed.
*B7. Moved? No Yes Unknown Date: Original Location:
*B8. Related Features: None
B9a. Architect: Unknown b. Builder: Unknown
*B10. Significance: Theme Downtown residential development Area: Napa, California Period of Significance circa 1930
Property Type Residential Applicable Criteria N/A (Discuss importance in terms of historical or architectural context as defined by theme, period, and geographic scope. Also address integrity)
The residential building at 1214 Yajome Street was constructed circa 1930 on a lot that was previously occupied by a small dwelling (no longer extant). The 1949 Sanborn Fire Insurance map shows the present one-story dwelling with a garage situated at the northeast corner of the lot. The garage is no longer extant. Additionally, Yajome Street was named Edmondson Street for most of its history, and was re-named sometime after 1949.
 
    According to deed records, Regina and Battista (known as Robert) Ceriani acquired the property from Felice Ceriani (likely his mother) in 1926. They likely demolished the one-story dwelling and constructed the present building. The Ceriani family owned the adjacent property at 1216 Yajome Street. According to 1930 Cenus records, Regina and Robert were Italian immigrants who had come to the United States in 1911 and 1907, respectively. Robert Ceriani was a washer in a laundry. His daughters, Louise and Lurline, also worked in the laundry as a shaker and ironer. Regina Ceriani inherited the property in 1958 when Robert died. In 1970, the property was inherited by the Ceriani children – Roland, John, Louise and Lurline. The property is currently owned by David Ceriani, likely a descendant of the family.
(continued)
B11.
*B12.
(continued)
B13.
Trinomial
Page 2 of 3 Resource Name or # (Assigned by recorder) 1214 Yajome Street Recorded by Page & Turnbull, Inc.
*Date 9/30/2010 (rev. 2/22/2011) Continuation  Update
The property was occupied by a series of renters: John Vai, a laborer who immigrated from Italy in 1892, lived at the property in 1935; R. M. and Vera Braiser, a painter, occupied the dwelling in 1942; J. H. McDonald and Charles A Dittmer occupied the property in 1949 and 1959 respectively; Primo Rodriguez lived there in 1967; and Chris R. Acquistapace, an employee at OK Tire Service, resided at the property in 1986. The building is still in use as a single-family residence.
1214 Yajome Street was located within an area known as “Spanish Town,” near St. John’s Addition. Because of its proximity to industrial uses along Soscol Avenue and St. John’s Catholic Church at Main and Caymus, this area experienced ethnically diverse working-class residential development around the turn of the twentieth century. By the 1930s, many of the neighborhood’s original residents had moved away, and Spanish Town was no longer the close-knit community it had once been. 1214 Yajome Street was constructed after Spanish Town and St. John’s were largely built out.
NRHP Criterion A/CRHR Criterion 1/Napa HRI Landmark Criterion a (Events, Patterns and Trends)
Constructed circa 1930, the residential building at 1214 Yajome Street does not appear to be significant for association with events important to the broad patterns of history. The building was located in Napa’s “Spanish Town,” a historically ethnically diverse working-class Napa neighborhood filled with small wood-framed cottages. However the subject building was constructed well after the development of the neighborhood and replaced an earlier house on the lot, and thus does not contribute to this development pattern. Therefore, 1214 Yajome Street does not appear to be eligible under Criterion A/1/a.
NRHP Criterion B/CRHR Criterion 2/Napa HRI Landmark Criterion b (Person)
The residential building at 1214 Yajome Street does not appear to be eligible for Criterion B/2/b for association with the lives of persons significant to our past. The building’s owners and the tenants were working-class people and there is no indication that they made significant contributions or were otherwise important to Napa's history to lend significance to the building that they constructed/lived in. Many of the tenants were of Italian descent, but again, none appeared to have played a prominent role within Napa’s Italian-American community or the development of Napa’s “Spanish Town.” Therefore, the property does not have significance under Criterion B/2/b.
NRHP Criterion C/CRHR Criterion 3/Napa HRI Landmark Criteria c,d,e (Design/Construction, Architects)
This residential building exhibits simple, vernacular bungalow styling. It is an example of a modestly-sized worker’s cottage, but it is not an individually outstanding example of a type, period, style, or method of construction, and other examples exist throughout the city. Research did not reveal the architect or builder of the house, and ultimately, it lacks sufficient architectural distinction to qualify under Criterion C/3/c, d, e, nor does it appear to contribute to any potential historic district of similar buildings
NRHP Criterion D/CRHR Criterion 4
Archival research provided no indication that the building has the potential to yield information important to the prehistory or history of Napa, California, or the nation. Therefore, it does not appear to be eligible for listing under Criterion D/4/d.
The building at 1214 Yajome Street retains its original use as a single-family residential property. Therefore, its integrity of association with residential development themes is strong. The building has never been moved and, so, has strong integrity of location. The property is still recognizable as a twentieth century single-family residence, and therefore retains integrity of feeling. When constructed, the building was located within a largely residential neighborhood. Yajome Street was realigned sometime after 1949 and Soscol Avenue was extended in the 1980s, and many of the historic residences surrounding 1214 Yajome Street were demolished to make way for these new streets. Combined with the introduction of contemporary commercial/civic buildings and landscapes to the immediate west of the subject property, the building’s surroundings have changed, and therefore the property lacks integrity of setting. The building has undergone many alterations, particularly to the front porch, exterior cladding and replacement of the windows. These changes, while individually minor, have collectively resulted in a substantial change to the resource’s historic character, and therefore the property’s integrity of design, materials and workmanship have been compromised. Because feeling and association depend on individual perceptions, their retention alone is never sufficient to qualify a property for listing in a historical register; therefore, due to alterations to the building and its surroundings, overall, 1214 Yajome Street does not retain historic integrity.
Trinomial
Resource Name or # (Assigned by recorder) 1214 Yajome Street Recorded by Page & Turnbull, Inc. 9/30/2010 (rev. 2/22/2011) Continuation
Page 3 of 3
Conclusion
1214 Yajome Street does not appear eligible for listing in the national, state, or local registers under any criteria, and does not retain sufficient integrity. 1214 Yajome Street has therefore been assigned a California Historical Resource Status Code of 6Z (ineligible for National, California or local designation through survey evaluation).
 
    Coodley, Lauren and Paula Amen Schmitt. Napa: The Transformation of an American Town. San Francisco, CA: Arcadia Publishing, 2007. Kilgallin, Anthony. Napa: An Architectural Walking Tour. San Francisco, CA: Arcadia Publishing, 2001. Napa city directories.
The Napa Valley Museum and Lin Weber. Napa. San Francisco, CA: Arcadia Publishing, 2004. Sanborn Fire Insurance maps (1886, 1891, 1901, 1910, 1924, 1949) Weber, Lin. Old Napa Valley: The History to 1900. St. Helena, CA: Wine Ventures Publishing, 1998. Weber, Lin. Roots of the Present: Napa Valley 1900 to 1950. St. Helena, CA: Wine Ventures Publishing, 2001.
Primary façade of 1214 Yajome Street, view east from Yajome Street. (Page & Turnbull 2010)
State California
Page 1 of 3
B1. Historic name: None
B2. Common name: None
B3. Original Use: Residential
*B5. Architectural Style: Vernacular
*NRHP Status Code 6Z
*Resource Name or # 1216 Yajome Street APN: 003147007000
B4. Present use: Residential
*B6. Construction History: (Construction date, alterations, and date of alterations)
Circa 1905: Constructed. Circa 1920: Relocated on parcel. Circa 1940: House raised. 1980: Underground electrical service.
*B7. Moved? No Yes Unknown Date: Between 1910 and 1924 (see Sanborn Fire Insurance Maps)
Original Location: Northwest corner of subject parcel
 
    *B8. Related Features: None
B9a. Architect: Unknown b. Builder: Unknown
*B10. Significance: Theme Downtown residential development
Area: Napa, California
Property Type Residential Applicable Criteria N/A (Discuss importance in terms of historical or architectural context as defined by theme, period, and geographic scope. Also address integrity)
Period of Significance circa 1905
The residential building at 1216 Yajome Street was constructed circa 1905. The 1910 Sanborn Fire Insurance map shows a building on the north half of the lot that was used for “female boarding.” In fact the entire northern half of the block was occupied by several buildings used for female boarding, likely bordellos (no longer extant). The 1924 Sanborn Fire Insurance maps suggests that the previous building on the lot was relocated to the southwest corner of the lot, closer to the street. A one-story garage and other outbuildings situated at the rear of the lot were also constructed at this time. The house was raised from one story to two stories between 1924 and 1949. The neighborhood has since changed to single-family dwellings. Today the garage and outbuildings are no longer extant. Additionally, Yajome Street was named Edmondson Street for most of its history, and was renamed sometime after 1949.
According to deed records, the property changed hands many times and very little is known about its owners. H.F.J. Peper bought the property in 1905 and likely constructed the current single-family residence. Dora Reed acquired the property in 1916 and immediately sold it to Mary Salowsky. Regina and Battista (known as Robert) Ceriani acquired the property in 1923, along with several adjacent parcels. According to 1930 Cenus records, Regina and Robert were Italian immigrants who had come to the United States in 1911 and 1907, respectively. Robert Ceriani was a washer in a laundry.
(continued)
B11.
*B12.
(continued)
B13.
*B14.
*Date
(This
Trinomial
Page 2 of 3 Resource Name or # (Assigned by recorder) 1216 Yajome Street Recorded by Page & Turnbull, Inc. 9/30/2010 (rev. 2/22/2011) Continuation
His daughters, Louise and Lurline, also worked in the laundry as a shaker and ironer. Three months later, the Cerianis sold the property to Luigi Pancrazzi. The 1930 Census shows that “Louis” Pancrazzi emigrated from Italy in 1867 and was a laborer on a fruit farm. Pancrazzi sold the property back to the Cerianis in 1925. Regina Ceriani inherited the property in 1958 when Robert died. In 1970, the property was inherited by the Ceriani children – Roland, John, Louise and Lurline in 1970. The property is currently owned by G. Ceriani, likely a descendant of the family, and is still in use as a single-family residence.
1216 Yajome Street shares a similar history with other resources in the St. John’s neighborhood to the north of Downtown Napa, and was associated with the development of the area as “Spanish Town.” Spanish Town was located in the northeast portion of downtown, between Napa Creek, West Street, Stuart Street (now Clinton Street), and Edmondson Street (now Yajome Street). Some sources extend Spanish Town as far west as Brown Street, as far north as Vallejo Street, and as far east as the Southern Pacific Railroad right-of-way (now Soscol Avenue). Napa’s Spanish Town was a notorious area, with a number of murders recorded during the Victorian era, and a “red light district” in the early twentieth century. In many California towns, the term “Spanish Town” was used to refer to the Latin Quarter, or areas where Spanish and/or Italian immigrants congregated. It is likely that in Napa, the name had similar derivations. As the Mexican ranchos were sold off to American developers, many of the ranchos’ Spanish-speaking laborers moved into Cornwall’s Addition because of its proximity to the industrial uses along Soscol Avenue. In addition to Mexican and Spanish residents, many working-class Italian immigrants settled in or near Spanish Town. St. John’s Catholic Church at Main and Caymus was a focal point of Napa’s Italian community, and was a catalyst for ethnically diverse working-class residential development in the surrounding blocks. Architecture in Spanish Town was typical of workingclass residential development throughout the city, and there do not appear to be any notable design trends exclusive to this area. By the 1930s, many of the neighborhood’s original residents had moved away, and Spanish Town was no longer the close-knit community it had once been.
NRHP Criterion A/CRHR Criterion 1/Napa HRI Landmark Criterion a (Events, Patterns and Trends)
Constructed circa 1911 and relocated on the same parcel circa 1920, the residence at 1216 Yajome Street does not appear to be significant for association with events important to the broad patterns of history. The building was located in Napa’s “Spanish Town,” a historically ethnically diverse working-class Napa neighborhood filled with small wood-framed cottages. However, mere association with historic trends is not enough, in and of itself, to qualify under this criterion: the property’s specific association must be considered important as well. The property is one of many residences constructed for lower-income workers, and while it reflects the general growth and development of the area and has ties to the Italian-American community in Spanish Town and St. John’s Addition, it does not have specific associations with this trend to set it apart as significant. Therefore, 1216 Yajome Street does not appear to be eligible under Criterion A/1/a. The “Spanish Town” theme would be better represented under this criterion as a historic district, but there does not appear to be a high enough concentration of extant historic resources associated with this theme to qualify as a historic district.
NRHP Criterion B/CRHR Criterion 2/Napa HRI Landmark Criterion b (Person)
The residence at 1216 Yajome Street does not appear to be eligible for Criterion B/2/b for association with the lives of persons significant to our past. The building’s owners were common, working-class people and there is no indication that they made significant contributions or were otherwise important to Napa's history to lend significance to the building that they constructed/lived in. Many of the tenants were of Italian descent, but again, none appeared to have played a prominent role within Napa’s Italian American community or the development of Napa’s “Spanish Town.” Therefore, the property does not have significance under Criterion B/2/b.
NRHP Criterion C/CRHR Criterion 3/Napa HRI Landmark Criteria c,d,e (Design/Construction, Architects)
This residence at 1216 Yajome Street exhibits simple, vernacular bungalow styling. It is an example of a modestly-sized worker’s cottage, but it is not an individually outstanding example of a type, period, style, or method of construction, and other examples exist throughout the city. Research did not reveal the architect or builder of the house, and ultimately, it lacks sufficient architectural distinction to qualify under Criterion C/3/c, d, e, nor does it appear to contribute to any potential historic district of similar buildings
NRHP Criterion D/CRHR Criterion 4
Archival research provided no indication that the building has the potential to yield information important to the prehistory or history of Napa, California, or the nation. Therefore, it does not appear to be eligible for listing under Criterion D/4/d.
CONTINUATION SHEET Yajome 9/30/2010 2/22/2011)
The building at 1216 Yajome Street retains its original use as a single-family residential property. Therefore, its integrity of association is strong. The property is still recognizable as an early twentieth century single-family residence, and therefore retains integrity of feeling. The building has been moved on its lot, so it lacks integrity of location. When constructed, the building was located within a largely residential neighborhood. Yajome Street was realigned sometime after 1949 and Soscol Avenue was extended in the 1980s, and many of the historic residences surrounding 1216 Yajome Street were demolished to make way for these new streets. Combined with the introduction of contemporary commercial/civic buildings and landscapes to the immediate west of the subject property, the building’s surroundings have changed, and therefore the property lacks integrity of setting. The building was raised a story in 1949, causing a major change to its form and massing that results in the loss of its integrity of design and workmanship. The building has had some of its windows replaced, but retains most of its original materials. Because feeling and association depend on individual perceptions, their retention alone is never sufficient to qualify a property for listing in a historical register; therefore, due to alterations to the building and its surroundings, overall, 1216 Yajome Street does not retain historic integrity. .
Conclusion 1216 Yajome Street does not appear eligible for listing in the national, state, or local registers under any criteria, and does not retain sufficient integrity. 1216 Yajome Street has therefore been assigned a California Historical Resource Status Code of 6Z (ineligible for National, California or local designation through survey evaluation.)
 
    Coodley, Lauren and Paula Amen Schmitt. Napa: The Transformation of an American Town. San Francisco, CA: Arcadia Publishing, 2007.
Kilgallin, Anthony. Napa: An Architectural Walking Tour. San Francisco, CA: Arcadia Publishing, 2001. Napa city directories.
The Napa Valley Museum and Lin Weber. Napa. San Francisco, CA: Arcadia Publishing, 2004. Sanborn Fire Insurance maps (1886, 1891, 1901, 1910, 1924, 1949)
Weber, Lin. Old Napa Valley: The History to 1900. St. Helena, CA: Wine Ventures Publishing, 1998. Weber, Lin. Roots of the Present: Napa Valley 1900 to 1950. St. Helena, CA: Wine Ventures Publishing, 2001.
State California
Page 1 of 3
B1. Historic name: None
B2. Common name: None
B3. Original Use: Residential
*B5. Architectural Style: Vernacular
*NRHP Status Code 6Z
*Resource Name or # 1234 Yajome Street APN: 003147008000
B4. Present use: Residential
*B6. Construction History: (Construction date, alterations, and date of alterations)
Circa 1920: Constructed. Circa 1945: Unspecified addition. 2007: Temporary meter for construction. 2008: Fire repair. 2008: Fire repair and remodel.
*B7. Moved? No Yes Unknown Date: Original Location:
*B8. Related Features: None
B9a. Architect: Unknown b. Builder: Unknown
*B10. Significance: Theme Downtown residential development Area: Napa, California
Period of Significance circa 1920
Property Type Residential Applicable Criteria N/A (Discuss importance in terms of historical or architectural context as defined by theme, period, and geographic scope. Also address integrity)
The residential building at 1234 Yajome Street was constructed circa 1920. The 1910 Sanborn Fire Insurance map shows another building on the north half of the lot with the south half of the lot (current location of the subject building) vacant. The 1924 Sanborn Fire Insurance maps shows that the south half of the lot now occupied by the present one-story dwelling. On the 1949 Sanborn Fire Insurance map the building appears to have been enlarged. Additionally, Yajome Street was named Edmondson Street for most of its history, and was re-named sometime after 1949.
 
    According to 1929 City Directories, Mrs. Angelina Leoni resided at 1234 Yajome Street and in 1935, John and Rena Meschini, a farmer and housewife, lived at the property. The house was likely a rental unit, as neither of these families appears to have owned the property.
Nothing is known about the owners of 1234 Yajome Street before 1940. At that time Raymond C. Siegel sold the property to John L. and Jewel Wilson. In 1944, they sold it to their son, Ira and his wife Mildred. Edwards Woods acquired the property in 1944 and sold it to Charles S. and Lulu M. Park in 1946. According to the 1910 and 1920 Census, the Parks had rented in Alameda and Vallejo before moving to Napa. Voter records indicate that Charles was a plumber and Lulu was a housewife. Lulu inherited the property upon Charles’ death in 1964. She sold it to Keith D. and Joyce C. Hangman in 1971. Merced and Eva Felix acquired the house just a month later. They sold it to Lloyd and Lorraine Moak in 1973. (continued)
B11.
*B12.
Ancestry.com: Federal Census
City of Napa Assessor’s Office: deed records. City of Napa Building Division: building permits.
(continued)
B13.
*B14. & Turnbull, Inc. (SF)
*Date of 8/30/2010
Sketch Map
Page 2 of 3 Resource Name or # (Assigned by recorder) 1234 Yajome Street Recorded by Page & Turnbull, Inc. 9/30/2010 Continuation
According to City Directories the property was occupied by Maurice Valut in 1967, Peter Aguilar in 1975, and Maria Hernandez in 1986. Building permits indicate that the property underwent construction in 2007 and again in 2008 for fire repair. The building is still in use as a single-family residence.
1234 Yajome Street shares a similar history with other resources in the St. John’s neighborhood to the north of Downtown Napa. St. John’s Catholic Church at Main and Caymus was a focal point of Napa’s Italian community, and was a catalyst for workingclass residential development in the surrounding blocks. Beginning just before the turn of the twentieth century, many working class Italian immigrants settled in St. John’s Addition because of its proximity to St. John’s Catholic Church and industrial uses along Soscol Avenue.
NRHP Criterion A/CRHR Criterion 1/Napa HRI Landmark Criterion a (Events, Patterns and Trends)
Constructed circa 1920, the residential building at 1234 Yajome Street does not appear to be significant for association with events important to the broad patterns of history. The building is located in a largely residential neighborhood consisting of small, workingclass houses that were built during the early twentieth century near the industrial area that had developed along Soscol Avenue While it plays a part in the general growth and development of the area, the property was constructed after the initial development of the area and does not have an association with this trend to set it apart as significant. Therefore, 1234 Yajome Street does not appear to be eligible under NRHP/CRR Criterion A/1/a.
NRHP Criterion B/CRHR Criterion 2/Napa HRI Landmark Criterion b (Person)
The residential building at 1234 Yajome Street does not appear to be eligible for Criterion B/2/b for association with the lives of persons significant to our past. Although little is known about the building’s owners and the tenants, they were likely working-class people. There is no indication that they made significant contributions or were otherwise important to Napa's history to lend significance to the building that they constructed/lived in. Several of the tenants were of Italian descent, but again, none appeared to have played a prominent role within Napa’s Italian-American community. Therefore, the property does not have significance under Criterion B/2/b.
NRHP Criterion C/CRHR Criterion 3/Napa HRI Landmark Criteria c,d,e (Design/Construction, Architects)
1234 Yajome Street exhibits simple, vernacular bungalow styling. It is a good example of a modestly-sized worker’s cottage, and although it has high physical integrity, it is not an individually outstanding example of a type, period, style, or method of construction, and other examples exist throughout the city. Research did not reveal the architect or builder of the house, and ultimately, it lacks sufficient architectural distinction to qualify under Criterion C/3/c, d, e, nor does it appear to contribute to any potential historic district of similar buildings
NRHP Criterion D/CRHR Criterion 4
Archival research provided no indication that the building has the potential to yield information important to the prehistory or history of Napa, California, or the nation. Therefore, it does not appear to be eligible for listing under Criterion D/4/d.
The building at 1234 Yajome Street retains its original use as a single-family residential property. Therefore, its integrity of association is strong. The building has never been moved and, so, has strong integrity of location. When constructed, the building was located within a largely residential neighborhood. While remnants of this residential neighborhood remain on the east side of Yajome Street, the introduction of contemporary commercial/civic buildings and landscapes to the immediate west of the subject property dilutes the subject property's integrity of setting. The building has undergone significant alterations; therefore it does not retain integrity of design, materials and workmanship. These alterations impair the integrity of feeling. The building is no longer recognizable as an early twentieth-century residence. Overall, the building lacks historic integrity.
1234 Yajome Street does not appear eligible for listing in the national, state, or local registers under any criteria, and has therefore been assigned a California Historical Resource Status Code of 6Z (ineligible for National, California or local designation through survey evaluation.)
Coodley, Lauren and Paula Amen Schmitt. Napa: The Transformation of an American Town. San Francisco, CA: Arcadia Publishing, 2007.
 
    Kilgallin, Anthony. Napa: An Architectural Walking Tour. San Francisco, CA: Arcadia Publishing, 2001. Napa city directories.
The Napa Valley Museum and Lin Weber. Napa. San Francisco, CA: Arcadia Publishing, 2004. Sanborn Fire Insurance maps (1886, 1891, 1901, 1910, 1924, 1949)
Weber, Lin. Old Napa Valley: The History to 1900. St. Helena, CA: Wine Ventures Publishing, 1998. Weber, Lin. Roots of the Present: Napa Valley 1900 to 1950. St. Helena, CA: Wine Ventures Publishing, 2001.
Page 1 of 9
D1. Historic Name Oxbow District
*Resource Name or # (Assigned by recorder) Oxbow District
D2. Common Name: Oxbow District
*D3. Detailed Description (Discuss overall coherence of the district, its setting, visual characteristics, and minor features. List all elements of district.):
The Oxbow District is located in the City of Napa, east of the commercial core. The term “Oxbow” is a modern term commonly used to describe the district’s location within a bend in the Napa River, or the “oxbow;” although it is not the neighborhood’s historical name, “Oxbow” is used here for consistency with other documents and plans used by the City of Napa. The neighborhood was historically a working-class area located near industrial uses, and is filled with single-family residences primarily constructed between 1870 and 1930. The district includes a total of fourteen (14) parcels as defined by the Napa County Assessor, with each assigned a unique Assessor’s Parcel Number (APN). Twelve (12) of these parcels are contributors to the Oxbow District because they illustrate the significant historic themes associated with the district. Two (2) properties are non-contributors because they lack sufficient integrity due to later alterations, or do not share thematic ties with the rest of the district. (See Continuation Sheet, Page 2)
*D4. Boundary Description (Describe limits of district and attach map showing boundary and district elements.):
The boundary of the Oxbow District encompasses all properties fronting on First and Water streets, roughly between Vernon Street and the railroad tracks, in the “oxbow” of the Napa River. Starting at First and Vernon streets (the northwest corner of the district), the boundary continues clockwise, running south on Vernon Street to Water Street, thence west to the northwest corner of parcel 003242001000, thence south to the Napa River, thence west along the rear of parcel 003242001000, and thence north along the western edge of said parcel to Water Street. From here, the boundary jogs east to the southwest corner of parcel 003241002000, where it turns north and runs along the west edge of said parcel to First Street. From the northwest corner of parcel 003241002000, the boundary turns east and continues along First Street to its starting point at the corner of First and Vernon Streets. (See Continuation Sheet, Page 3)
The Oxbow District boundary includes a concentration of properties associated with the working-class residential development along East First Street in an area roughly corresponding to Cornwall’s Addition (1852). The residential area along East First Street was once larger than it is today, but since many properties have been demolished or altered over the years, the district boundaries have been drawn to exclude large groups of non-contributing parcels and encompass only the remaining resources. (See Continuation Sheet, Page 3)
D6. Significance: Theme n/a Area Oxbow, Napa, CA Period of Significance n/a Applicable Criteria n/a (Discuss district's importance in terms of its historical context as defined by theme, period of significance, and geographic scope. Also address the integrity of the district as a whole.)
The Oxbow District does not appear to be eligible for listing in the national, state, or local historical registers under any criteria. The district was loosely associated with themes of residential and industrial development, and the city’s early Italian-American community, but not to a degree significant enough to qualify for designation. However, two properties within the district boundaries appear to qualify for individual listing in the local register based on their architectural character (731 First Street and 906 McKinstry Street). (See Continuation Sheet, Page 4)
*D7. References (Give full citations including the names and addresses of any informants, where possible.):
(See Continuation Sheet, Page 8)
*D8. Evaluator: Rebecca Fogel
Date: 15 October 2010 (rev. 22 February 2011)
Affiliation and Address Page & Turnbull, Inc. 1000 Sansome Street, Suite 200, San Francisco, CA. 94111
The Oxbow District includes detached, one-story and one-story-over-raised-basement single-family residences constructed between 1870 and 1930. The raised basements may have been installed as a flood protection measure because of the neighborhood’s proximity to the Napa River. Houses within the district are of simple wood-frame construction, designed in a vernacular style with little to no ornamentation. Houses are typically rectangular in plan with a front-facing gable roof, and most have a shed roofed front porch supported by square wood posts. All resources within the district are clad in wood channel drop or shingle siding. Windows were originally double-hung wood-sash, but most buildings now contain contemporary vinyl sash windows. None of the residences appear to have been architectdesigned. Many homes in the Oxbow District have detached garages or outbuildings at the rear of the parcel. Residences are set back from the front lot line; there is a concrete sidewalk on First and McKinstry streets, but not on Water Street.
Table 1 below identifies the 14 resources within the district. The spreadsheet features a column listing the status of properties within the Oxbow District boundaries, noted as California Historical Resource Status Codes (CHRSC). Contributors (12) and non-contributors (2) are marked based on their association with the themes that shaped the neighborhood’s development, but all have been assigned a CHRSC of “6Z” (Found ineligible for NR, CR, or Local designation through survey evaluation) because the district as a whole does not appear eligible for listing.
APN Address
Alternate Address Year Built HRI Rating CHRSC Notes
003241002000_0000 731 - 731 FIRST ST 1870 2 5S3 Contributor
003241002000_0001 731 - 731 FIRST ST 730 Water Street 1870 6Z Non-Contributor –Lacks Integrity
003241003000_0000 711 - 711 FIRST ST 1910 3 6Z Contributor
003241003000_0001 711 - 711 FIRST ST 718 Water Street 1870 6Z Contributor
003241004000_0000 903 - 903 MCKINSTRY ST 1930 3 6Z Contributor
003242001000_0000 876 - 876 WATER ST 1915 3 6Z Contributor
003243001000_0000 645 -645 FIRST ST 1955 6Z Non-Contributor –Commercial Building
003243002000_0000 633 - 633 FIRST ST 1890 3 6Z Contributor
003243003000_0000 627 - 627 FIRST ST 1885 3 6Z Contributor
003243004000_0000 619 - 619 FIRST ST 1885 3 6Z Contributor
003243005000_0000 611 - 611 FIRST ST 1890 3 6Z Contributor
003243006000_0000 605 - 605 FIRST ST 1870 3 6Z Contributor
003243007000_0000 619 - 619 WATER ST 620 Water Street 1925 3 6Z Contributor
003243008000_0000 906 - 906 MCKINSTRY ST 1880 2 5S3 Contributor
See Attached Photographs for views of each resource within the Oxbow District.
 
     
     
     
    Oxbow District Map, 2010. indicates Oxbow District boundaries. shaded parcels indicate District Contributors. Light orange shaded parcels indicate Non-Contributors. Parcels the historic district that were considered as part of this survey effort have also been marked to justify the boundary. parcels evaluated as part of this DPR 523D Form were assigned a CHRSC of 6Z).
 
    To the south of the district boundary, the County Corporation Yard at 933 Water Street (ca. 1945) was excluded because it lacks thematic ties to the district and does not appear to be significant. To the west of the district, the residence at 743 First Street (ca. 1935) was excluded because it was constructed after the period of significance, and lacks sufficient integrity due to later alterations. Across First Street to the north of the district, the residence at 728 First Street (ca. 1905) was excluded because it lacks integrity due to later alterations; the commercial property on the corner of First and McKinstry streets (ca. 1948) was constructed after the district’s period of significance, and lacks thematic ties to the
 
     
    Page 4 of 9 Resource Name or # (Assigned by recorder) Oxbow District
*Recorded by: Page & Turnbull
*Date 15 October 2010 (rev. 2/22/11)  Continuation Update
district’s residential history; and the residence at 1031 McKinstry Street (ca. 1905) was excluded because it was moved to the site between 1924 and 1949. The Oxbow Public Market and garden to the north and east of the district, respectively, are both new construction, and therefore were not included. Table 2 includes information about five adjacent age-eligible resources that were considered for inclusion in the Oxbow District, but ultimately excluded for the reasons described above.
Table 2: Resources excluded from the Oxbow District (5 total)
APN Address
Alternate Address Year Built HRI Rating CHRSC Notes
003182012000_0000 1031 - 1031 MCKINSTRY ST 1905 6Z Moved to site between 1924 and 1949 (outside district)
003182007000_0000 728 - 728 FIRST ST 1905 6Z Lacks integrity (outside district)
003182009000_0000 708 - 714 FIRST ST 1021 - 1027 McKinstry 1948 6Z Commercial building (outside district)
003241001000_0000 743 - 743 FIRST ST 1935 6Z Lacks integrity (outside district)
003242003000_0000 933 -933 WATER ST 1945 6Z County Corporation Yard (outside district)
The following section evaluates the potential historical significance of the Oxbow District under national, state, and local designation Criteria.
The Oxbow District does not appear to be significant under this criterion for association with events or trends important to the broad patterns of history of Napa. It is not associated with special historical events, nor does it represent significant geographical patterns of settlement or growth. According to National Register Bulletin 15, mere association with historic events or trends is not enough, in and of itself, to qualify under this criterion; a property or district’s specific association must be considered important as well. The Oxbow District was historically a working-class residential neighborhood that developed as such because of its proximity to industrial uses and rail/river transportation routes. However, it did not have a particular effect on the growth of Napa’s economy or community, it was not a catalyst for future development, and more significant examples of this development pattern exist elsewhere in the city. East Napa and St. John’s contain a higher concentration of workers’ cottages from this era, and are therefore better examples of this theme. Because the Oxbow District lacks a strong, important, or unique association with industrial development themes, it does not appear to qualify for listing under this criterion. Similarly, many Italian immigrants settled within the Oxbow District, but the area is not significantly associated with the theme of ethnic diversity because it lacked the community centers and businesses that formed the heart of the close-knit Italian immigrant enclaves in other neighborhoods. East Napa—known as “Little Italy”—is therefore a better representation of the contributions of Napa’s Italian-American community. While development in the Oxbow District was influenced by these broad city-wide development patterns—residential, industrial, and Italian-American development—the district as a whole lacks a specific enough association with these themes to qualify for listing in the national, state, or local register under this criterion.
The Oxbow District does not appear to be significantly associated with persons important to Napa’s history. This area was historically a working-class neighborhood, and none of its residents appear to have made significant enough contributions to Napa’s history to qualify for listing under this criterion.
Page 5 of 9 Resource by: Page & Turnbull 15 October 2010 (rev. 2/22/11)
NRHP Criterion C/CRHR Criterion 3/Napa HRI Landmark District Criteria e, f (Design/Construction, Architect)
The Oxbow District does not embody distinctive characteristics of a type, period, or method of construction. While the simple, vernacular construction of the residences in the Oxbow District is typical of working-class cottages from the Victorian era and early twentieth century, the buildings do not appear to have utilized unique building practices, nor do they appear to have contributed directly to the architectural development of working-class neighborhoods in Napa.
More exemplary simple, vernacular residential architecture from this era exists in other neighborhoods, such as East Napa, St. John’s, and Spencer’s Addition. The buildings in the Oxbow District are vernacular in form and construction, and do not appear to represent the work of a master architect. The district therefore does not appear eligible for listing in the national, state, or local register under this criterion.
NRHP Criterion D/CRHR Criterion 4 (Information Potential)
Archival research provided no indication that the district has the potential to yield information important to the prehistory or history of Napa, California, or the nation. Therefore, it does not appear to be eligible for listing under Criterion D/4.
Napa HRI Landmark District Criterion c (Significance/Integrity)
While most properties within the Oxbow District are inta ct, none appear to have individual historical significance under any of the criteria described above. Because a majority of the properties within the district does not appear to have historical significance, the Oxbow District does not appear to be eligible for listing under Napa HRI Landmark District Criterion c.
This section includes the necessary historical background required to analyze the potential historical significance of the Oxbow District as described above.
The Oxbow District first developed as a working-class residential neighborhood during the Victorian era (1860-1899) on land originally platted by George Cornwall in 1852. “Cornwall’s Addition to Napa City,” 1 which consisted of six square blocks at the confluence of Napa River and Napa Creek and was laid out as a continuation of the Napa City grid; in addition to the Oxbow District, it became home to an industrial area, Chinatown, and a two-block “Spanish Town.” The neighborhood was influenced by the commercial and industrial growth of Downtown, especially along the Napa River and the railroad tracks, which were necessary for efficient transportation of goods.
Just outside the district boundaries were a number of the city’s early industrial uses, all associated with the manufacturing of agricultural products. The McBain Tannery (also known as the Napa City Tannery) was on McKinstry Street, with buildings on both sides of the street connected by a bridge; the Napa Glue Company was at Pearl and McKinstry streets; and the Vernon Flour Mills were on Water Street. Additionally, the Marvin & Co. Feed and Stock Yard was on the northeast corner of First and McKinstry streets, a wagon shop was at the northwest corner of First and Lawrence Street, and a large vegetable garden was on the north side of First Street at Vernon Street. A wooden railroad drawbridge crossed the Napa River at Lawrence Street just west of the Oxbow District (same location as present-day railroad tracks). 2
The Oxbow District’s proximity to these industrial uses and transportation routes made it a logical place to construct housing for industrial workers, and simple workers’ cottages lined East First Street beginning in the 1870s. According to
1 “Cornwall’s Addition” is referenced in some sources as “Cornwell’s Addition;” however, the original survey is entitled “Cornwall’s Addition to Napa City” in County Recorder’s Book B of Deeds, 143.
2 Sanborn Fire Insurance Maps, 1886-1891.
CONTINUATION SHEET & Turnbull 15 October 2010 (rev. 2/22/11)
Sanborn Fire Insurance maps, there were seven small one-story dwellings, the “First Street House” hotel and saloon, and a harness shop within the district in 1886; by 1901, there were 10 residences in addition to the harness shop. Two to three small outbuildings were located at the rear of each property. A total of nine (9) contributing resources within the Oxbow District date to the Victorian era.
During the 1920s and 1930s, the City of Napa was a blue-collar community. Most men worked union jobs at the local factories or at the nearby Mare Island Naval Shipyard. 3 However, industrial development in the Oxbow declined in the twentieth century; the only remaining industrial businesses in the area surrounding the district were the Napa City Tannery (in operation until the early 1920s) and a few of feed warehouses. The residential section of First Street had been already been largely built out with modest working-class homes by 1930. By this time, the district contained fourteen residences, with additional dwellings lining both sides of First Street from Edmondson (Yajome) Street to the First Street Bridge. Oxbow District residents in the 1920s and 1930s included laborers, factory workers, carpenters, tailors, salesmen, and a horseshoer. About one third of these residents owned their homes, while the remainder rented. Two residences within the district date from the early twentieth century (pre-World War I), and two more were constructed in the late 1920s; as in the Victorian era, these buildings were simple, vernacular designs with little or no ornamentation.
After 1930, the only construction within the Oxbow District was a restaurant at the corner of First and McKinstry streets (1955). In the area surrounding the district, several buildings were constructed from the postwar era to the present, including the City Corporation Yard (circa 1945), a one-story multi-unit commercial building (circa 1948), and the Oxbow Public Market (2008). Additionally, the extension of Soscol Avenue across the Napa River in the 1980s severed the Oxbow District’s connection with Downtown.
However, the working-class residential development that occurred in the Oxbow District from the Victorian era through the early twentieth century did not have a particular effect on the growth of Napa’s economy or community; it was not a catalyst for future development in this or other neighborhoods, and more significant examples of this development pattern exist elsewhere in the city. The Oxbow District was once larger than it is now, with working-class residences extending all the way from Main Street east to the river; since its peak in 1930, the edges of the Oxbow District have been eroded by the closure of industrial facilities, the extension of Soscol Avenue in the 1980s, the demolition of residences within the district, and new construction in adjacent areas, all of which have reduced the neighborhood’s ability to significantly represent industrial development themes. The workers’ housing that developed in the Oxbow District was not associated with a particular industry, nor did it appear to have been developed deliberately. The area lacked services, and was isolated from other similar neighborhoods. The building types developed in the Oxbow District were not architecturally notable, and they have been altered through porch, window, and siding replacement. East Napa—which was previously found eligible for listing in the City of Napa HRI as a Landmark District—contains more intact examples of this building type, as does St. John’s, which was previously found eligible for listing in the National Register as a historic district. Especially in comparison with these other neighborhoods, the Oxbow District lacks a strong enough association with residential and industrial development themes to qualify for listing.
Italian immigrants arrived in Napa looking for employment beginning in the 1860s. Many Italians were employed at the local marble works or wineries because of their previous experience with these trades in Italy. Due to cultural and linguistic barriers, the Italian community established neighborhoods comprised of their fellow countrymen, including the St. John’s neighborhood, clustered around St. John’s Catholic Church at Main and Caymus streets, the Oxbow, and most importantly in East Napa along Third and Juarez streets. 4 Newcomers freshly arrived from Italy gathered in these neighborhoods because they could get cheap rooms and industrial jobs, and meet others who spoke their
3 Coodley, “A River into Which None Can Step Twice,” Napa Valley Marketplace (October 2007).
4 Weber, Old Napa Valley: The History to 1900, 204. Napa, the Valley of Legends, 34-35. Weber, Napa, 86-87.
language. Many of these immigrants were single men whose aim was to secure a job and live frugally until they earned enough money to send for their families. In the Oxbow District, residents of Italian descent were listed in City Directories from the 1870s through the 1960s.
However, the heart of the Italian-American community developed in St. John’s and East Napa, known as “Little Italy,” not the Oxbow District. While Italian-American laborers lived in the Oxbow District, the neighborhood lacked the community centers and businesses found in St. John’s and East Napa—St. John’s Catholic Church, Brooklyn Hotel, Depot Saloon, Colombo Hotel, Buonaventura Italian Grocery—that formed the basis of the city’s close-knit Italian immigrant enclave. The presence of Italian residents is not enough for the Oxbow District to contribute significantly to the development of the Italian-American community in Napa, and the district therefore cannot be considered significant for its association with this theme.
Of the seven aspects of integrity, those most applicable to the contributing properties within the Oxbow District are location, setting, feeling, and association. These aspects are most important to conveying the residential development patterns and the occupancy of a working-class community. Retention of design, workmanship, and materials, which characterize the modest houses typical of the Oxbow District, also lends to the District’s ability to convey cohesive architectural character as a working-class neighborhood.
The majority of contributing properties within the Oxbow District retain integrity. Most properties within the District retain integrity of location, with only one house appearing to have been moved within the district: 906 McKinstry Street was originally located at 645 First Street, and was moved to the rear of that parcel between 1924 and 1949. Some contributors within the District have been altered, but typically in minor ways. Porch alterations and window replacement is common in the area, but integrity of design, workmanship and materials of contributing properties is considered sufficient, as their original form and character as modest, working-class houses is still evident. While the majority of properties within the District boundaries are intact, demolitions within the boundaries and adjacent new construction have eroded the edges the Oxbow District, causing its integrity of setting and feeling to be somewhat diminished. However, because individual buildings within the District possess integrity and the area is still able to convey its character as a working-class neighborhood, the overall integrity of the Oxbow District is retained.
The two buildings which do not contribute to the Oxbow District lack integrity: the commercial building at First and McKinstry streets has undergone major alterations to the main entrance, while the residence at 730 Water Street has had several additions and alterations to the fenestration and entries that obscure its vernacular form.
While the resources within the Oxbow District are largely intact, the district does not appear eligible for listing in the national, state, or local historical registers under any criteria. The district contained housing for laborers and factory workers and was influenced by city-wide industrial development patterns, but it does not possess a specific enough association with this theme to qualify for listing. Likewise, the presence of Italian residents is not enough for the Oxbow District to contribute significantly to the development of the Italian-American community in Napa, and the district therefore cannot be considered significant for its association with this theme. The Oxbow District contains vernacular architectural forms that are typical of working-class cottages, but it does not stand out within the context of vernacular architecture in Napa and therefore does not possess sufficient architectural significance to qualify for listing.
 
     
     
    Coodley, Lauren, and Paula Amen Schmitt. Napa: The Transformation of an American Town. Charleston, SC: Arcadia Publishing, 2007.
Napa City and County Portfolio and Directory. Napa, CA: H.A. Darms, 1908.
Napa City Directories. 1928-1954. Napa County Assessor/Recorder’s Office Napa County Historical Society Archives Sanborn Fire Insurance Maps. 1886-1949.
Bloomfield, Anne. A Residential Context for the Cultural Resources of the City of Napa. Prepared for Planning Department, City of Napa, January 1996.
 
    National Park Service. National Register Bulletin: How to Apply the National Register Criteria for Evaluation, 1995. Pacific Aerial Surveys. Aerial Photographs. 1958-1995.
Coodley, Lauren. “Local History: Napa Valley Market Place articles.” Napa Valley Marketplace, 2004-2007. Accessed at <http://nvmarketplace.wordpress.com/category/history> (accessed 1 December 2008).
 Workers’ cottages such as this house on Juarez Street (left) and Third Street (right) in the previously identified potential East Napa Historic District have a higher level of architectural distinction and integrity than the resources within the Oxbow District. These resources better represent the themes of industrial development, Italian-American community growth, and Victorian-era vernacular style than the buildings in the Oxbow District.
    Workers’ cottages such as this house on Juarez Street (left) and Third Street (right) in the previously identified potential East Napa Historic District have a higher level of architectural distinction and integrity than the resources within the Oxbow District. These resources better represent the themes of industrial development, Italian-American community growth, and Victorian-era vernacular style than the buildings in the Oxbow District.
          Trinomial
Page 1 of 4 Resource Name or # (Assigned by recorder) 1212-1222 First Street (Merrill’s Building) / 1025 Coombs Street
*Recorded by Page & Turnbull, Inc. (RF)
*Date 02/22/2011  Continuation  Update
The Merrill’s Building at 1212-1222 First Street (APN 003164021000) was included in the 1978 Survey, and was included in the City of Napa Historic Resources Inventory (HRI) with a Map Score of “1” in 1995. It was recorded in the California Historical Resource Information System database with a California Historical Resource Status Code (CHRSC) of “3S,” indicating that it “Appears eligible for NR as an individual property through survey evaluation.” The Merrill’s Building originally occupied APN 003164013000, but was merged with the adjacent parcel at 1025 Coombs Street (APN 003164003000) between 2000 and 2010 to form the current L-shaped parcel (APN 0031640021000).
The Merrill’s Building (1929) is located on the north side of First Street between Coombs and Randolph streets. The design, attributed to local architect C.L. Hunt, exhibits Renaissance Revival and Spanish Eclectic influences (Photos 1 & 2). Like the similarly-detailed Gordon Building at 1130 First Street, the Merrill’s Building was designed by Hunt for local businessman and real estate developer, Samuel P. Gordon. As noted in previous documentation, the Merrill’s Building holds an important position along the First Street commercial corridor, and is a notable and rare example of early twentieth century commercial architecture in Downtown Napa. The first floor of the Merrill’s Building has been modified, with new storefronts installed; the original storefronts featured angled vestibules and a tiled base (Photos 3 & 4). A metal canopy was installed across the entire First Street façade in 1963. The second floor is unaltered, though, and retains its clerestory windows and all its original brick and terra cotta details. According to Sanborn Fire Insurance maps, the Merrill’s Building is L-shaped, sharing an interior wall with a one-story section fronting Coombs Street. This reinforced concrete section of the building is much simpler than the First Street façade, and was either constructed with the original building or as an early addition (circa 1929-1930) (Photos 5 & 6). The building has had numerous commercial tenants since its original construction, but most notably housed its namesake, Merrill’s Drugstore (closed in 1990s). Since the Merrill’s Building was previously documented, no major alterations or additions appear to have been constructed, and little change to the historic fabric has occurred. The building is currently vacant.
1025 Coombs Street
A second, smaller commercial building addressed as 1025 Coombs Street shares the lot with the Merrill’s Building (Photos 7 & 8). This building was designed to match the Coombs Street façade of the Merrill’s Building, and appears to have been built circa 1930, shortly after the construction of the original building (no building permits recording the construction of 1025 Coombs Street were located). Aerial photos and Sanborn Fire Insurance maps indicate that this narrow, reinforced concrete infill building is a separate structure (Photos 9 & 10). Although its history is similar to that of the Merrill’s Building, because the narrow structure at 1025 Coombs Street is a separate building and lacks a physical connection to the Merrill’s Building, it must be evaluated as such.
1025 Coombs Street is simply designed, with Spanish Eclectic details at the mezzanine, including wood spindles at the transom, decorative vents, and terra cotta coping at the roofline. 1025 Coombs Street has been dramatically altered, with the entire ground floor remodeled in 1977. As described above, the alteration of original storefronts on the original Merrill’s Building did not compromise the overall historic character of the building because of the abundance of intact architectural details on the First Street façade, but the alterations in this case have reduced 1025 Coombs Street’s integrity and concealed its historic character. 1025 Coombs Street was included in the City of Napa Historic Resources Inventory (HRI) with a Map Score of “3” in 1995. Despite its similarities to the rear section of the Merrill’s Building, the narrow structure at 1025 Coombs Street lacks the same architectural quality as the significant First Street façade of the original Merrill’s Building, and therefore does not appear to be individually eligible for listing in the national, state, or local historical registers.
Trinomial
Page 2 of 4 Resource Name or # (Assigned by recorder) 1212-1222 First Street (Merrill’s Building) / 1025 Coombs Street
*Recorded by Page & Turnbull, Inc. (RF)
*Date 02/22/2011 Continuation  Update
The Merrill’s Building still appears to be eligible for listing in the National Register of Historic Places. The building is significant as an exceptional example of early twentieth century commercial architecture in Napa, as well as the Renaissance Revival style. The building’s period of significance is 1929-1930, which covers the original construction of the building and the Coombs Street section of the Merrill’s Building. The narrow structure at 1025 Coombs Street is a separate building and lacks a physical connection to the Merrill’s Building; although its history is similar to that of the Merrill’s Building, 1025 Coombs Street must be evaluated as a separate building. 1025 Coombs Street—while designed to match the Coombs Street façade of the Merrill’s Building—does not have the same architectural quality as the significant First Street façade of the main building. 1025 Coombs Street does not appear to be individually significant for its association with events, persons, or architecture, and lacks integrity due to later alterations. To clarify, contributing and non-contributing elements of the Merrill’s Building property (CHRSCs for each element are listed in parentheses) include:
 
     Merrill’s Building (1929) – Original two-story commercial building, designed by architect C.L. Hunt in the Renaissance Revival and Spanish Eclectic styles. Formerly APN 003164013000. Eligible for listing in NR (3S: Appears eligible for NR as an individual property through survey evaluation)
1025 Coombs Street (ca. 1930) – Narrow building adjacent to Merrill’s Building at 1025 Coombs Street. Formerly APN 003164003000. While this building was designed to match the Coombs Street façade of the Merrill’s Building, it lacks architectural distinction and historical integrity, and does not appear to contribute to the significance of the Merrill’s Building. (6Z: Ineligible for NR, CR or local designation through survey evaluation)
1978 Historic Resources Inventory Forms. “Merrill’s Building.” Napa, 1978. City of Napa. Building Permits. Kilgallin, Anthony Raymond. Napa: An Architectural Walking Tour. Charleston, SC: Arcadia Publishing, 2001. Pacific Aerial Surveys. Aerial Photographs. 1958-1995.
Sanborn Fire Insurance Maps Weber, Lin. Napa. Charleston, SC: Arcadia Publishing, 2004.
 
     
     Photo 3: Original storefronts at Merrill’s Building, ca. 1940. (Napa County Historical Society)
          Photo 4: Merrill’s Building, 1970s. (Kilgallin, 20)
          Photo 5: Merrill’s Building, Coombs Street section. (Page & Turnbull 2010)
          Photo 6: Merrill’s Building, Coombs Street section from alley. (Page & Turnbull 2010)
    Photo 3: Original storefronts at Merrill’s Building, ca. 1940. (Napa County Historical Society)
          Photo 4: Merrill’s Building, 1970s. (Kilgallin, 20)
          Photo 5: Merrill’s Building, Coombs Street section. (Page & Turnbull 2010)
          Photo 6: Merrill’s Building, Coombs Street section from alley. (Page & Turnbull 2010)
           
     
     
     
     
     
     
     Photo 7: 1025 Coombs Street, with altered storefronts (6Z). Note mezzanine level designed to match Coombs Street façade of Merrill’s Building. (Page & Turnbull, 2010)
          Photo 8: Detail of connection between 1025 Coombs Street and Merrill’s Building. Although similarly designed, 1025 Coombs Street is a separate building. (Page & Turnbull, 2010)
          Photo 9: Aerial photograph of Merrill’s Building, showing Lshaped plan and unusual massing of Merrill’s Building. Note difference in roofing delineating 1025 Coombs Street. (Bing Maps, 2010)
          Photo 10: Sanborn Fire Insurance Map, 1949, with Merrill’s Building shaded in orange and 1025 Coombs Street shaded in green.
    Photo 7: 1025 Coombs Street, with altered storefronts (6Z). Note mezzanine level designed to match Coombs Street façade of Merrill’s Building. (Page & Turnbull, 2010)
          Photo 8: Detail of connection between 1025 Coombs Street and Merrill’s Building. Although similarly designed, 1025 Coombs Street is a separate building. (Page & Turnbull, 2010)
          Photo 9: Aerial photograph of Merrill’s Building, showing Lshaped plan and unusual massing of Merrill’s Building. Note difference in roofing delineating 1025 Coombs Street. (Bing Maps, 2010)
          Photo 10: Sanborn Fire Insurance Map, 1949, with Merrill’s Building shaded in orange and 1025 Coombs Street shaded in green.
          Page 1 of 2 Resource Name or # (Assigned by recorder) 1750 First Street (Noyes Mansion & Carriage House) Recorded by Page & Turnbull, Inc. (RF) 10/15/2010 Continuation Update
The Noyes Mansion & Carriage House at 1750 First Street (APN 003192005000) was surveyed and listed in the City of Napa Historic Resources Inventory (HRI) as a Landmark Property in 1977. The building was also listed in the National Register of Historic Places in 1992. The building was recorded in the California Historical Resource Information System database with a California Historical Resource Status Code (CHRSC) of “1S,” indicating that it is an “Individual property listed in NR by the Keeper. Listed in the CR.” The building was also identified as a contributor to the potential National Register-eligible First & Jefferson Streets Historic District as part of the West Napa Intensive-Level Survey (Page & Turnbull, 2009).
The Noyes Mansion at 1750 First Street (Photo 1) was constructed in 1902 by Napa architect Luther Turton for prominent Napa businessman Joseph Noyes, an assistant cashier and Director of the James Goodman Bank, Napa’s first bank. This residence was the second house designed by Turton for the Noyes family. The Shingle/Classical Revival style Mansion features a prominent porte-cochere supported by Tuscan columns, wood balustrades at the roof and balcony, fluted pilasters, and oval art glass windows. Also addressed as 1775 Clay Street, a large shingled carriage house from the Mansion’s original construction is at the rear of the property (Photo 2). The property was inhabited by the Noyes’ son, Frank, until 1956. Frank was the founder of Noyes Lumber Yard, a prominent and long-lived Napa business.
Since the building was previously documented, the complex has been converted to commercial use, and now houses the offices of Wine Spectator magazine. Little change to the historic fabric has occurred.
The Noyes Mansion & Carriage House still appears to be eligible for listing in the National Register of Historic Places and as a local Landmark Property. The building is significant as an example of turn-of-the-century Shingle/Classical Revival style residential architecture, as well as the work of prominent local architect Luther Turton. The building’s period of significance is 1902, which covers its original construction. The contributing elements of the Noyes Mansion & Carriage House (CHRSCs for each element are listed in parentheses) Include:
Noyes Mansion (1902) – Original residence, designed by Luther Turton. Listed in NR (1S: Individual property listed in NR by the Keeper. Listed in the CR.). City of Napa Landmark Property (5S1: Individual property that is listed or designated locally). Contributor to the potential First & Jefferson Streets Historic District (3B: Appears eligible for NR both individually and as a contributor to a NR eligible district through survey evaluation / 5B: Locally significant both individually and as a contributor to a district that appears eligible through survey evaluation).
Carriage House (1902) – Original carriage house, designed in the Shingle style. Also addressed at 1775 Clay Street. The carriage house is an unusually high-style example of a residential outbuilding. It still retains its original barn doors and hay loft doors, and has a porte cochere to match that of the Noyes Mansion.
Although it is not explicitly mentioned in previous documentation of the Noyes Mansion, it is associated with the Mansion’s original construction and adds to the significance of the property under all criteria. The carriage house is therefore eligible for listing in NR, CR and local register—both as an element of the individual listing of the Noyes Mansion, and as part of the First & Jefferson Streets Historic District (3B: Appears eligible for NR both individually and as a contributor to a NR eligible district through survey evaluation / 5B: Locally significant both individually and as a contributor to a district that appears eligible through survey evaluation).
“A Partial History of First Street, Compiled from City of Napa Planning Department Records, 15 April 1994, Including 1978 West Napa Survey District #5 Master List and 1988 West Napa Survey District #5 Master List Update.” 15 April 1994.
1978 Historic Resources Inventory Forms. “Noyes Mansion.” Napa, 1978.
City of Napa, “Luther Turton Architectural Tour, First Street” (California Preservation Foundation, 2008).
Weber, Lin. Napa. Charleston, SC: Arcadia Publishing, 2004.
Photo 1: Noyes Mansion (1902), 1750 First Street. Listed in NR (1S); City of Napa Landmark Property (5S1); Contributor to potential First & Jefferson Streets Historic District (3B/5B). (Page & Turnbull 2010)
Photo 2: Carriage House (1902), 1775 Clay Street. Contributes to the significance of the Noyes Mansion, and is a contributor to potential First & Jefferson Streets Historic District (3B/5B). (Page & Turnbull 2010)
Page 1 of 3 Resource Name or # (Assigned by recorder) 1038-1040 Main Street (Mathis-Flanagan Building) Recorded by Page & Turnbull, Inc. (RF) *Date 10/15/2010 Continuation Update
The Mathis-Flanagan Building at 1038-1040 Main Street (APN 003172007000) was surveyed as part of the 1978 Survey, and was found eligible for listing in the National Register of Historic Places. The building was listed in the City of Napa Historic Resources Inventory (HRI) with a Map Score of “1” in 1995. The building was recorded in the California Historical Resource Information System database with a California Historical Resource Status Code (CHRSC) of “3S,” indicating that it “Appears eligible for NR as an individual property through survey evaluation.”
The Mathis-Flanagan Building was constructed in 1906 for real estate investor John Flanagan. The Flanagan Building, as it was originally called, housed retail spaces on the ground floor with offices, apartments, and the Cecille Hotel upstairs. A lodge room on the second floor was originally used by the Woodmen of the World, who rented the room out to other fraternal organizations. The building housed the Hotel Reavis in the 1930s and 1940s, and is listed in City Directories as the Major Building in the 1950s. The building was owned by Virgil & Betty Mathis in the 1970s, and historic photographs from this era show a vertical blade sign reading “Mathis Building” in the center of the primary façade.
The Mathis-Flanagan Building was designed by prominent Napa architect Luther Turton, and originally featured Twentieth Century Commercial style details. The three story reinforced cement block building was one of the city’s first reinforced concrete structures; it also incorporates a pre-existing building at the east end of the ground floor. The original balconies, storefronts, wood sash windows, denticulated cornice, and shaped parapet were removed in the 1960s; the rusticated blocks on the primary façade, the pediment window hoods above the third floor fenestration, and the cast iron pilasters on the ground floor are the only decorative elements remaining today. Since the MathisFlanagan Building was previously documented, no major alterations or additions appear to have been constructed, and little change to the historic fabric has occurred. The building is in use as the Main Street Exchange, with a restaurant at the rear.
The Mathis-Flanagan Building appears to be significant under Criterion A/1/a (Events, Patterns & Trends) and Criterion C/3/c,d, e (Design/Construction, Architect) as an exceptional example of early twentieth century commercial architecture in Napa, as well as a rare remaining representation of commercial development in the downtown area during this period. The period of significance is 1906, which covers the original construction of the building. The Mathis-Flanagan Building completed this block—which also contains the Napa Valley Opera House and the KyserWilliams Block—and is significant under Criterion A/1/a as a representation of Napa’s commercial development at this time; the building provides evidence of the time when Main Street was a wall of two- and three-story commercial buildings and was the center of the city’s commercial activities. The building is an early example of reinforced concrete construction methods in Napa, and at the time of its construction, was an excellent example of the Twentieth Century Commercial style. The Mathis-Flanagan also represents the work of master architect Luther Turton, especially his commercial designs. The building is therefore significant under Criterion C/3/c,d for its architecture. Furthermore, because many of Downtown Napa’s grandest early twentieth century commercial buildings were demolished in the 1960s and 1970s, the Mathis-Flanagan Building stands out as significant under Napa HRI Landmark Property Criterion e. The building is currently listed in the HRI with a Map Score of “1.”
The Mathis-Flanagan Building is still in use as a commercial building in Downtown Napa, and therefore retains integrity of association with commercial development patterns. The building has never been moved, and therefore retains integrity of location. The Mathis-Flanagan Building was one of the last buildings constructed on this block, completing a solid wall of commercial buildings. While the demolition of resources on the west side of has affected its surroundings, the building still retains integrity of setting—namely because the adjacent Opera House and KyserWilliams Block are intact, and the surrounding area still features commercial uses. The Mathis-Flanagan Building was the work of master architect Luther Turton, and originally featured ornate features that exemplified early twentieth century commercial architecture. The building has undergone a series of major alterations to its primary façade, including the removal of the original balconies, storefronts, wood sash windows, denticulated cornice, and shaped parapet in the 1960s. Due to the combined effect of these changes, the building has reduced integrity of design, materials or workmanship. The building can still be understood as a Turton-designed commercial building from the early twentieth century and therefore the building retains integrity of feeling. The Mathis-Flanagan retains sufficient overall integrity to qualify for local designation. Because of the loss of so many of its distinctive decorative features, though, it does not retain sufficient overall integrity to convey its significance for the National Register as
Page 2 of 3 Resource Name or # (Assigned by recorder) 1038-1040 Main Street (Mathis-Flanagan Building) Recorded by Page & Turnbull, Inc. 10/15/2010 Continuation
the work of a master architect, the Twentieth Century Commercial style, or the commercial development patterns of this era.
In order to be considered an eligible historic resource, a property must possess both significance and integrity. The Mathis-Flanagan Building appears to be significant under Criterion A/1/a and Criterion C/3/c,d, e, and while it retains sufficient integrity of feeling to qualify as a local Landmark Property, it does not have the integrity required to qualify for listing in the National or California registers. However, the Mathis-Flanagan Building is a notable resource, and with a sensitive restoration of the building’s cornice, balconies, and storefronts based on photographic evidence, it could regain its eligibility for listing in the national and state historical registers. The building has therefore been assigned two California Historical Resource Status Codes of 5S3 (individually eligible for local listing or designation through survey evaluation) and 7N1 (Needs to be reevaluated – may become eligible for NR with restoration or when meets other specific conditions)
1978 Historic Resources Inventory Forms. “Mathis-Flanagan Building.” Napa, 1978. Kernberger, David and Kathleen. Mark Strong’s Napa Valley, 1886-1924. St. Helena, CA: Historic Photos, Publishers, 1978.
Kilgallin, Anthony Raymond. Napa: An Architectural Walking Tour. Charleston, SC: Arcadia Publishing, 2001. Napa City and County Portfolio and Directory. Napa, CA: H.A. Darms, 1908. Napa County Historical Society Photographs. Page, Charles Hall & Associates. “Parkway Plaza Historic Preservation Study.” Prepared for the Napa Community Redevelopment Agency. San Francisco, 1975. Weber, Lin. Napa. Charleston, SC: Arcadia Publishing, 2004.
Photo 1: Mathis-Flanagan Building (1906). The building lacks sufficient integrity to qualify for listing, but it is an important local building and could become eligible if restored (5S3/7N1). (Page & Turnbull 2010)
Photo 2: Flanagan Building/Cecille Hotel, 1908. (H.A. Darms, page 81)
 
     
     
     
     
     
     Photo 3: Main Street, with Opera House and Mathis-Flanagan Building, ca. 1975. County Historical Society)
          Photo 4: Mathis-Flanagan Building, 1975. Hall Page & Associates, 1975)
    Photo 3: Main Street, with Opera House and Mathis-Flanagan Building, ca. 1975. County Historical Society)
          Photo 4: Mathis-Flanagan Building, 1975. Hall Page & Associates, 1975)
          Page 1 of 4 Resource Name or # (Assigned by recorder) 550 Main Street (Hatt Building/Napa Milling) Recorded by Page & Turnbull, Inc. (RF) 10/15/2010 Continuation Update
The Hatt Building/Napa Milling Complex at 550 Main Street (APNs 003277002000, 003277003000, 003277006000, 003277007000, 003277008000, 003275003000) was surveyed and listed in the National Register of Historic Places in 1974. The complex was also listed in the City of Napa Historic Resources Inventory (HRI) as a Landmark Property in 1977. The resource was recorded in the California Historical Resource Information System database with a California Historical Resource Status Code (CHRSC) of “1S,” indicating that it is an “Individual property listed in NR by the Keeper. Listed in the CR.”
The original brick building was constructed as a warehouse by Captain Albert Hatt in 1884 (Photo 1), with an addition in 1886-1887 (Photo 2). A small poured-in-place concrete building with an accompanying wharf was constructed by Captain Hatt at the south edge of the site in 1893 (Photo 3). This building was used for storage of agricultural chemicals and other products. Two one-story brick additions (Annex #1 and #2) were constructed behind the original buildings between 1890 and 1905 (Photo 4). The Hatt Building was purchased in 1912 by Robert Keig, who founded the Napa Milling and Warehouse Company at the site. Keig constructed two hay and grain buildings in the 1930s. The current brick façade of the grain silo building was constructed in 1932, with the silos themselves constructed in 1944 and the hoppers added in 1965 (Photo 5). All but the brick façade of Keig’s 1930s hay barn was destroyed by fire and was replaced by a non-contributing glued laminated wood frame structure with concrete tilt-up walls in 1959 (Photo 6). A one-story concrete block building (1949) is located on the southwest corner of the Hatt Building/Napa Milling Complex (Photos 7-8), and was used as the Napa Police Station from 1952-1959.
Since the National Register nomination was completed in 1974, the complex has been converted to use as the Napa River Inn, a retail, restaurant, and hotel complex. A three-story residential addition above Annex #1 and #2 was constructed in 2000 as part of the Napa River Inn; the original ground-floor brick walls of Annex #1 and #2 are still extant, and were incorporated into the new construction. The silo building was also altered: the rear of the building has been removed, and a public plaza has been installed in its place.
The Hatt Building/Napa Milling Complex still appears to be eligible for listing in the National Register of Historic Places and as a local Landmark Property. The building is significant as an example of Victorian-era industrial architecture, and for its association with early riverboat transportation and commerce in Napa. As established in the National Register nomination, the period of significance is 1884-1905. To clarify, the contributing and noncontributing elements of the Hatt Building/Napa Milling Complex (CHRSCs for each element are listed in parentheses) include:
Hatt Building (1884) – Original section of the building. Listed in NR (1S: Individual property listed in NR by the Keeper. Listed in the CR.) City of Napa Landmark Property (5S1: Individual property that is listed or designated locally).
Hatt Building (1886) – Early addition to the building. Listed in NR (1S: Individual property listed in NR by the Keeper. Listed in the CR.) City of Napa Landmark Property (5S1: Individual property that is listed or designated locally).
Hatt Building (1893) – Original warehouse and wharf, now Angele restaurant. Although it was not explicitly mentioned in the National Register nomination, this building is associated with Captain Hatt and thus appears to have the associations necessary to contribute to the complex’s significance. However, it has been significantly altered since its original construction (new stucco cladding, north wall reconfigured in 1930s, doors replaced, wharf removed) and thus does not retain sufficient integrity to be considered a contributor to the complex. (6Z: Ineligible for NR, CR or local designation through survey evaluation)
Annex #1 and #2 (circa 1900/2000) – At their construction circa 1900, these additions provided greatly increased warehouse and storage space, and are called out as important elements in the National Register nomination. However, with the exception of the ground floor walls, this is now a modern building, and thus lacks sufficient integrity to contribute to the significance of the complex. (6Z: Ineligible for NR, CR or local designation through survey evaluation)
Silo Building (1932-1944) – The silo building was originally constructed in 1932 by Robert Keig, founder of Napa Milling and Warehouse Company. The concrete silos were constructed in 1944 and the hoppers were
CONTINUATION SHEET of Resource Name 550 Page Turnbull, 10/15/2010
placed in service in 1965. The Silo Building was excluded from the National Register nomination because it is a “modern, separate building which does not relate historically to the original Hatt Building complex.”
 
    While the silos themselves have become an iconic part of the complex and they were associated with the Keig family’s ownership of the complex, the silo building has also been significantly altered since the nomination was completed. (6Z: Ineligible for NR, CR or local designation through survey evaluation).
 
    
Hay Barn (1959) – While it retains the original 1930s brick façade, the hay barn has been altered and was excluded from the National Register nomination because it is a “modern, separate building which does not relate historically to the original Hatt Building complex.” (6Z: Ineligible for NR, CR or local designation through survey evaluation)
1091 Fifth Street (1949) – 1091 Fifth Street is currently owned and operated by the Napa River Inn, but does not appear to have been originally associated with the Hatt Building/Napa Milling Complex. This building was originally constructed in 1949, was used as the Napa Police Station from 1952-1959, and has since been used as offices. It is currently used as a day spa. It is not thematically related to the Hatt Building’s significance, and does not appear to be an individually significant representation of a particular building type, architectural style, or method of construction. It was not purpose-built as a police station, and while it was used for a few years as such, it does not retain sufficient associations with the police department to qualify for listing in the National Register. (6Z: Ineligible for NR, CR or local designation through survey evaluation).
“Historic Napa Mill: Historic Facts & Walking Tour.” Unpublished brochure, n.d. Kernberger, David and Kathleen. “Hatt Building/Napa Milling.” National Register Nomination. August 12, 1974, revised March 1976.
Shulman, Todd L. and Napa Police Historical Society. Images of America: Napa County Police. Charleston, SC: Arcadia Press, 2007.
Yerger, Rebecca A. “A Historical Sketch of the Hatt/Napa Mill.” June 1999. At Historic Napa Mill, http://www.historicnapamill.com/history.php. Accessed 30 September 2010.
 
     
     
     Photo 3: Hatt Building (1893). Non-contributing due to alterations/lack of integrity (6Z) (Page & Turnbull 2010)
          Photo 4: Annex #1 and #2 (circa 1900/2000). Non-contributing. Ground-floor walls are original, but remainder is modern construction (6Z) (Page & Turnbull 2010)
          Photo 5: Silo Building (1932-1944). Non-contributing (6Z) (Page & Turnbull 2010)
          Photo 6: Hay Barn (1959). Non-contributing (6Z) (Page & Turnbull 2010)
    Photo 3: Hatt Building (1893). Non-contributing due to alterations/lack of integrity (6Z) (Page & Turnbull 2010)
          Photo 4: Annex #1 and #2 (circa 1900/2000). Non-contributing. Ground-floor walls are original, but remainder is modern construction (6Z) (Page & Turnbull 2010)
          Photo 5: Silo Building (1932-1944). Non-contributing (6Z) (Page & Turnbull 2010)
          Photo 6: Hay Barn (1959). Non-contributing (6Z) (Page & Turnbull 2010)
           
     
     
    Page 1 of 1 Resource Name or # (Assigned by recorder) 903 Main Street (Bank of Napa/Wells Fargo Building) Recorded by Page & Turnbull, Inc. (RF) 10/15/2010 Continuation
The Bank of Napa/Wells Fargo Building at 903 Main Street (APN 003221012000) was surveyed and listed in the City of Napa Historic Resources Inventory (HRI) as a Landmark Property in 1978. The building was also listed in the National Register of Historic Places in 1992. The building was recorded in the California Historical Resource Information System database with a California Historical Resource Status Code (CHRSC) of “1S,” indicating that it is an “Individual property listed in NR by the Keeper. Listed in the CR.”
 
    The building at 903 Main Street was constructed in 1923 (Photo 1). Designed by an unknown architect in the BeauxArts style, the building was originally constructed for the Bank of Napa, replacing the original Bank of Napa and surrounding buildings known collectively as the “Bank Block.” The building received a one-story Art Deco style rear addition in 1934 (908 Brown Street), which was noted in previous documentation as significant because it represents a style rarely seen in Napa (Photo 2). Since the building was previously documented, alterations have occurred to the entry on the north façade, but little change to the historic fabric has occurred. The building is currently used as a Wells Fargo Bank.
The Bank of Napa/Wells Fargo Building still appears to be eligible for listing in the National Register of Historic Places and as a local Landmark Property. The building is significant as an example of Beaux-Arts commercial architecture, as well as Art Deco architecture at the addition. The building’s period of significance is 1923-1934, which covers both the original construction and the Art Deco addition. To clarify, contributing and non-contributing elements of the Bank of Napa/Wells Fargo Building (CHRSCs for each element are listed in parentheses) include:
 
     Bank of Napa (1923) – Original bank, designed in the Beaux-Arts style. Listed in NR (1S: Individual property listed in NR by the Keeper. Listed in the CR.). City of Napa Landmark Property (5S1: Individual property that is listed or designated locally).
Art Deco Addition (1934) – Significant early addition, designed in the Art Deco style. Also addressed as 908 Brown Street. Included in previous documentation. Listed in NR (1S: Individual property listed in NR by the Keeper. Listed in the CR.). City of Napa Landmark Property (5S1: Individual property that is listed or designated locally).
1978 Historic Resources Inventory Forms. “Bank of Napa.” Napa, 1978. Kilgallin, Anthony Raymond. Napa: An Architectural Walking Tour. Charleston, SC: Arcadia Publishing, 2001. Weber, Lin. Napa. Charleston, SC: Arcadia Publishing, 2004.
Photo 1: Beaux-Arts style Bank of Napa/Wells Fargo Building (1923), 903 First Street. Listed in NR (1S); City of Napa Landmark Property (5S1). (Page & Turnbull 2010)
Photo 2: Art Deco Addition (1934), 908 Brown Street. Included in previous documentation. Listed in NR (1S); City of Napa Landmark Property (5S1). (Page & Turnbull 2010)
Page 1 of 2 Resource Name or # (Assigned by recorder) 601-625 Randolph Street (First United Methodist Church) Recorded by Page & Turnbull, Inc. (RF) *Date 10/15/2010 Continuation Update
The First United Methodist Church at 601-625 Randolph Street (APN 003262007000, 003262006000) was surveyed and listed in the City of Napa Historic Resources Inventory (HRI) as a Landmark Property in 1976. The church was included in the 1978 Survey, and was found eligible for listing in the National Register of Historic Places. The building was recorded in the California Historical Resource Information System database with a California Historical Resource Status Code (CHRSC) of “3S,” indicating that it “Appears eligible for NR as an individual property through survey evaluation.”
The First United Methodist Church at the corner of Randolph and Division streets was designed in the English Gothic Style in 1916 by prominent local architect Luther Turton and constructed by builder William Coffield (Photo 1). As noted in previous documentation, the church owns the entire block and has constructed several additional buildings for church and school activities. These additions were constructed in the 1950s because the dramatic population changes and the postwar Baby Boom had caused an increased need for social services and education, and many of Downtown’s existing historic churches added schools or social halls to their facilities to meet this need for additional space. Centennial Hall/Adams Hall at 1301 Fourth Street was constructed in 1952 as a social hall (Photo 2), while the Bonner Educational Building was built in 1955 to house the church’s school (Photo 3). Since the church was previously documented, no major alterations or additions have been constructed, and little change to the historic fabric has occurred. The building is still in use as a Methodist Church.
The First United Methodist Church still appears to be eligible for listing in the National Register of Historic Places, and as a local Landmark Property. The building is significant as an example of English Gothic Revival style architecture, as well as the work of Luther Turton. The building’s period of significance is 1916, which covers its original construction. The postwar additions do not appear to be significant. To clarify, contributing and noncontributing elements of the First United Methodist Church property (CHRSCs for each element are listed in parentheses) include:
First United Methodist Church (1916) – Original church, designed in the English Gothic Revival style by Luther Turton. City of Napa Landmark Property (5S1: Individual property that is listed or designated locally). Appears eligible for listing in NR (3S: Appears eligible for NR as an individual property through survey evaluation).
Centennial Hall/Adams Hall (1952) – Social hall at 1301 Fourth Street originally constructed as Centennial Hall. It was renamed “Adams Hall” after former pastor Ken Adams in 2001, and converted to use as a homeless daytime drop-in center. While this building was associated with the growth of the church during the postwar era, it does not appear to contribute to the church’s significance. Adams Hall does not appear to be an individually significant representation of a particular building type, architectural style, or method of construction, and therefore does not appear eligible for listing in the national, state, or local register. (6Z: Ineligible for NR, CR or local designation through survey evaluation).
Bonner Educational Building (1955) – Educational building addition at the corner of Franklin and Fourth streets. The building was named for former pastor Warren Bonner, and contains classrooms and meeting spaces. While this building was associated with the growth of the church during the postwar era, it does not appear to contribute to the church’s significance. Adams Hall does not appear to be an individually significant representation of a particular building type, architectural style, or method of construction, and therefore does not appear eligible for listing in the national, state, or local register. (6Z: Ineligible for NR, CR or local designation through survey evaluation).
1978 Historic Resources Inventory Forms. “First United Methodist Church.” Napa, 1978.
First United Methodist Church “Methodist History.” http://www.napaumc.org/history.shtml. Accessed 30 September 2010.
Kilgallin, Anthony Raymond. Napa: An Architectural Walking Tour. Charleston, SC: Arcadia Publishing, 2001. Weber, Lin. Napa. Charleston, SC: Arcadia Publishing, 2004.
Page 1 of 2 Resource Name or # (Assigned by recorder) 1333 Third Street (First Presbyterian Church) Recorded by Page & Turnbull, Inc. (RF) 10/15/2010 Continuation Update
The First Presbyterian Church at 1333 Third Street (APN 003209004000, 003209005000, 003209010000) was surveyed and listed in the National Register of Historic Places in 1974. The church was also included in the City of Napa Historic Resources Inventory (HRI) as a Landmark Property in 1976. It was recorded in the California Historical Resource Information System database with a California Historical Resource Status Code (CHRSC) of “1S,” indicating that it is an “Individual property listed in NR by the Keeper. Listed in the CR.”
The First Presbyterian Church at the corner of Third and Randolph streets was designed in the Gothic Revival Style in 1874 by architects Daley & Eisen and constructed by builder J.W. Batchelor (Photos 1 & 2). The chapel wing was added to the rear in 1890. As noted in previous documentation, the church owns the majority of this block and has constructed several additions for church and school activities. Because the dramatic population changes and the postwar Baby Boom of the 1950s had caused an increased need for social services and education, many of Downtown’s existing historic churches added schools or social halls to their facilities to meet this need for additional space. The Presbyterian Day School on Randolph Street was constructed circa 1957 (Photo 3); the social hall at 726 Franklin streets was built circa 1970 (Photo 4); and an addition infilled the courtyard behind the school sometime in the 1970s. Since the church was previously documented, no major alterations or additions appear to have been constructed, and little change to the historic fabric has occurred. The building is still in use as a Presbyterian Church.
The First Presbyterian Church still appears to be eligible for listing in the National Register of Historic Places, and as a local Landmark Property. The building is significant as an exceptional example of Gothic Revival style architecture, as well as early community development in Napa. The building’s period of significance is 1874-1890, which covers the original construction of the church and the early chapel addition. The postwar additions do not appear to be significant. To clarify, contributing and non-contributing elements of the First Presbyterian Church property (CHRSCs for each element are listed in parentheses) include:
First Presbyterian Church (1874) – Original church, designed in the Gothic Revival style. Listed in NR (1S: Individual property listed in NR by the Keeper. Listed in the CR.) City of Napa Landmark Property (5S1: Individual property that is listed or designated locally).
Presbyterian Day School (ca. 1957) – Two-story school on Randolph Street constructed circa 1957, with an addition circa 1970s. It is still used as classrooms and offices. While this building was associated with the growth of the church during the postwar era, it does not appear to contribute to the church’s significance. The Presbyterian Day School does not appear to be an individually significant representation of a particular building type, architectural style, or method of construction, and therefore does not appear eligible for listing in the national, state, or local register. (6Z: Ineligible for NR, CR or local designation through survey evaluation).
 Social Hall (ca. 1970) – Social hall addition at 726 Franklin Street. While this building was associated with the continued development of the church, this building is not age-eligible, and does not appear to contribute to the church’s significance. (6Z: Ineligible for NR, CR or local designation through survey evaluation)
1978 Historic Resources Inventory Forms. “First Presbyterian Church.” Napa, 1978.
First Presbyterian Church “History.” http://www.fpcnapa.org/history.html. Accessed 30 September 2010.
Kilgallin, Anthony Raymond. Napa: An Architectural Walking Tour. Charleston, SC: Arcadia Publishing, 2001. Napa City and County Portfolio and Directory. Napa, CA: H.A. Darms, 1908.
Pacific Aerial Surveys. Aerial Photographs. 1958-1995. Weber, Lin. Napa. Charleston, SC: Arcadia Publishing, 2004.
 
     
     
     
     
     
     
     
     
     
     Photo 1: Gothic Revival style First Presbyterian Church (1874), 1333 Third Street. Listed in NR & City of Napa Landmark Property (1S/5S1). & Turnbull 2010)
          Photo 2: First Presbyterian Church, 1908. (H.A. Darms, Page 63)
          Photo 3: Presbyterian Day School (ca. 1960), Randolph Street. Non-contributor (6Z). (Page & Turnbull 2010)
          Photo 4: Social Hall (ca. 1970), 726 Franklin Street. Noncontributor (6Z). (Page & Turnbull 2010)
    Photo 1: Gothic Revival style First Presbyterian Church (1874), 1333 Third Street. Listed in NR & City of Napa Landmark Property (1S/5S1). & Turnbull 2010)
          Photo 2: First Presbyterian Church, 1908. (H.A. Darms, Page 63)
          Photo 3: Presbyterian Day School (ca. 1960), Randolph Street. Non-contributor (6Z). (Page & Turnbull 2010)
          Photo 4: Social Hall (ca. 1970), 726 Franklin Street. Noncontributor (6Z). (Page & Turnbull 2010)
          1000 Sansome Street, Suite 200 San Francisco, California 94111 415.362.5154 / 415.362.5560 fax
2401 C Street, Suite B Sacramento, California 95816 916.930.9903 / 916.930.9904 fax
417 S. Hill Street, Suite 211 Los Angeles, California 90013 213.221.1200 / 213.221.1209 fax