Offenblatt 14/2025

Page 1


Ausgabe Nr. 14

www.offenblatt.de

Ausstellung zu sexualisierter Gewalt: Seite 2

Foto: Siefke

Offizielle Amtseinführung: Seite 7

13. April 2025

+++ Bei ihrer Bilanzpressekonferenz freuen sich die Vertreter*innen der Sparkasse über ein solides Geschäftsjahr 2024: Seite 8 +++ Die Bahnkundschaft hat sich über die Ostertage auf Fahrplanänderungen einzustellen: Seite 9 +++

Bildungsprojekt als Leuchtturm

Grünes Licht für Planung: Zell-Weierbach wird Standort für Realschule und Grundschule

SCHULEN cl Der künftige SchulCampus in Zell-Weierbach hat eine weitere Hürde im Gemeinderat genommen. Oberbürgermeister Marco Steffens nannte das Projekt einen Meilenstein, Ortsvorsteher Willi Wunsch sprach von einem Leuchtturm.

Konkret geht es um den Umzug der Erich-Kästner-Realschule aus der Innenstadt in einen Neubau. Weiterhin soll die bereits bestehende WeingartenGrundschule saniert und erweitert werden. Auch vor dem Hintergrund gestiegener Baukosten sollten sich die Mitglieder des Gemeinderats für eine von drei durch die Stadtverwaltung erarbeiteten Varianten entscheiden und die Planung in einem weiteren Schritt zur Baubeschlussfassung vorlegen.

„Sehr guter Zustand“

Oberbürgermeister Steffens bekannte sich zur großzügigen Finanzierung der städtischen Schulen. Sie seien „in einem sehr guten Zustand“.

Der Siegerentwurf des Architektenwettbewerbs. Foto: MGM-Architekten

Taras Maygutiak (AfD) rief dazu auf, nicht an den Offenburger Schulen zu sparen. „Offenburg sticht landes- und deutschlandweit mit der Ausstattung seiner Schulen heraus“, lobte Martina Bregler (SPD). Einziger Kritiker war Fritz Düker (FBO). Das Geld solle besser in vorhandene Strukturen investiert werden.

„Variante 3“

Im Ergebnis wird der Gemeinderat künftig mit der „Variante 3“ weiter planen. 38 Rätinnen und Räte votierten dafür. Dem gegenüber stand eine Gegenstimme. (Weitere Berichte aus dem Gemeinderat auf Seite 3)

Dreizügige Realschule

Die Verwaltungsvorlage empfahl eine Lösung, die den dreizügigen Betrieb der Realschule

Schulbürgermeister Hans-Peter Kopp erinnerte an die jüngst abgeschlossenen Projekte: Schiller-Gymnasium, EichendorffSchule, Georg-Monsch-Schule und die Schule in Elgersweier. Davon habe ein Drittel der 6000 Offenburger Schülerinnen und Schüler profitiert, mit dem Projekt in Zell-Weierbach würden es weitere 600.

Meilensteine

Das Projekt umfasst zwei Schulen. Die Erich-Kästner-Realschule zieht aus der Innenstadt in einen Neubau. Die Weingarten-Grundschule am Standort wird renoviert und erweitert.

Für den Neubau der Realschule und den Umbau der Weingartenschule sind insgesamt 51,3 Millionen Euro veranschlagt. Davon entfallen 11,4 Millionen Euro auf Fördermittel.

Die Bauarbeiten beginnen Mitte des kommenden Jahres und dauern voraussichtlich etwa drei Jahre. Zum Schuljahresbeginn 2029/2030 soll der Campus fertiggestellt sein.

ermöglicht. Der als „Variante 3“ ausgewiesene Vorschlag sieht außerdem die Erweiterung der Grundschule vor. Ein Anbau soll nun allerdings nur einstöckig ausgeführt werden und nicht, wie urspünglich vorgesehen, mit zwei Etagen.

Willi Wunsch (CDU/FDP) dankte dem Gemeinderat und der Verwaltung für die bisherige gute und konstruktive Arbeit an dem Projekt.

Martin Ockenfuß (Grüne) nannte das Projekt zukunftsfest. Es sei geeignet, gute pädagogische Konzepte umzusetzen.

Entwicklungsmöglichkeit

Tobias Isenmann (FWO) merkte an, mit der „Variante 3“ werde die Entwicklungsmöglichkeit für beide Schulen in der Zukunft gewährleistet.

BAU- & RENOVIERUNGS-

WIR VERWIRKLICHEN IHRE VORSTELLUNGEN RUFEN SIE UNS AN!

0781 7872-902

bauservice@wackergruppe.de

www.wackergruppe.de

Schuld haben immer die Täter

Ausstellung „was ich anhatte“ zu sexualisierter Gewalt an Frauen soll Mut zum Gespräch machen

ges Sie wollen nicht mehr schweigen und Opfer sein, sondern anderen Frauen Mut machen, sich zu öffnen: Die Wanderausstellung „was ich anhatte“ macht Erfahrungen von zwölf Frauen, die sexualisierte Gewalt erlebt haben, anonym öffentlich. Vernissage ist am Dienstag, 29. April, 15 Uhr, in der Ortenberger Straße 2.

Nora war Soldatin bei der Bundeswehr, bekam K.O.-Tropfen in den Drink geträufelt und wurde später von einem Kameraden vergewaltigt. Irgendwann war ihr klar: „Ich möchte nicht mehr schweigen.“ Eine andere Betroffene wurde als kleines Mädchen von ihrem Großvater sexuell missbraucht. „Ich habe das für total normal gehalten“, erinnert sie sich. Als ihr später, im Erwachsenenalter, bewusst wurde, dass sie nicht schuldig war, sei die ganze Wut aus ihr herausgekommen.

Für Lisa endete die Betriebsweihnachtsfeier mit einer Vergewaltigung: „Ich konnte gar nicht reagieren, war wie gelähmt.“

Vom 29. April bis 14. Mai wird die Ausstellung „was ich anhatte“ in der Fachberatungsstelle

Notdienste

• 13.4. Weingarten-Apotheke Moltkestraße 50

• 14.4. Schwarzwald-Apotheke Hauptstraße 19

• 15.4. Einhorn-Apotheke Hauptstraße 88

• 16.4. St. Martin-Apotheke Hauptstraße 63, 77767 Appenweier-Urloffen

• 17.4. Hilda-Apotheke Hildastraße 69

• 18.4. Marien-Apotheke Hauptstraße 73 77746 Schutterwald

• 19.4. Schwarzwald-Apotheke Hauptstraße 19

• 20.4. Apotheke Zunsweier Am Kirchberg 2

Übersetzerpreis

Im Kulturausschuss am 9. April haben sich die Mitglieder entgegen der Verwaltungsvorlage mehrheitlich für die Weiterführung des Europäischen Übersetzerpreises in einem ZweiJahres-Rhythmus ausgesprochen. Mehr dazu in der nächsten OFFENBLATT-Ausgabe.

Häusliche Gewalt gezeigt. Zu sehen sind Kleidungsstücke der Betroffenen, begleitet von der jeweiligen Geschichte. Es geht nicht um einen voyeuristischen Blick auf die Tat, sondern es handelt sich um eine vielschichtige Installation und um Aussagen entschlossener Frauen. „Wir dürfen nicht wegschauen, sondern müssen darüber reden und die Öffentlichkeit sensibilisieren“, betont die

Abfalltermine

Der Eigenbetrieb Abfallwirtschaft informiert, dass sich die Müllabfuhrtermine wegen der bevorstehenden Osterfeiertage teilweise verschieben. Um die Abfuhr nicht zu verpassen, wird empfohlen, einen Blick in den Abfallkalender zu werfen. Sowohl in den gedruckten als auch digitalen Abfallkalendern sind sämtliche Termine verbindlich dargestellt. Verschiebungen aufgrund von Feiertagen sind darin bereits berücksichtigt. Wer bequem und zuverlässig immer einen Tag vorher an alle Termine erinnert werden will, kann sich noch rechtzeitig vor Ostern die kostenlose AbfallApp Ortenaukreis herunterladen. Auf www.abfallwirtschaft-ortenaukreis.de gibt es direkte Links zum Apple Store und GooglePlay-Store sowie einen QR-Code zum Download.

Weiter informiert der Eigenbetrieb Abfallwirtschaft, dass sämtliche Deponien und Wertstoffhöfe am Karsamstag, 19. April, geschlossen bleiben.

Geschäftsführerin des Vereins Frauen helfen Frauen Ortenau, Petra Fränzen. Die Hauptbotschaft laute, dass die Opfer keine Schuld treffe, ergänzt Fachberaterin Katja Weiten. Für Jürgen Rieger, Präsident des Polizeipräsidiums Offenburg, ein ganz wichtiges Anliegen. Sexualisierte Gewalt greife in den Persönlichkeitsbereich ein, ihn gelte es zu schützen. 1000 Fälle häuslicher Gewalt habe es

Impressum

Herausgeberin: Stadt Offenburg

Verantwortlich: Fabian Fallert

im vergangenen Jahr in seinem Zuständigkeitsbereich (Ortenaukreis, Landkreis Rastatt und Stadt Baden-Baden) gegeben. Von den 100 Vergewaltigungen seien 25 im häuslichen Bereich vorgefallen. Über 50 Prozent der Täter seien Deutsche. „Vergewaltigungen kommen überall vor, vor allem aber im persönlichen Bereich der Opfer.“ Das dürfe eine Gesellschaft nicht tolerieren. Wenn etwas nicht stimme, wenn man Schreie höre oder die Nachbarin mit einem blauen Auge sehe, dürfe nicht weggeschaut werden, so der Appell an die Solidargemeinschaft. Die Ausstellung wird so niederschwellig wie möglich gezeigt. Bis zu zwei Mitarbeiterinnen des Frauenhauses stehen als Ansprechpartnerinnen zur Verfügung und informieren zu bestehenden Hilfemöglichkeiten und darüber, dass die Beratung in der Ortenberger Straße 2 anonym läuft. Eine Chance für die Betroffenen, über das Erlittene zu reden, ohne sich rechtfertigen zu müssen. Ausstellung: Ortenberger Straße 2, 29.4.–14.5., werktags, 9–17 Uhr, Wochenende und Feiertage, 10–16 Uhr. Eintritt frei.

Redaktion: Gertrude Siefke (Leitung, ges), Telefon 0781/82-2572

Anja Walz (stv. Leitung, aw), Telefon 0781/82-2666

Marie-Christine Gabriel (mcg), Telefon 0781/82-2333

Mark Gregotsch (gr), Telefon 0781/82-2102

Christoph Lötsch (cl), Telefon 0781/82-2200

Simone Niedick (sni), Telefon 0781/82-2636

E-Mail: offenblatt@offenburg.de Organisationseinheit Marketing und Kommunikation Hauptstraße 90, 77652 Offenburg

Veranstaltungskalender: offenblatt@offenburg.de

Austräger-Reklamation: Telefon 0781/9340-925

E-Mail: zustellung.offenblatt@der-guller.de www.offenblatt-zustellung.de

Verantwortlich für Anzeigen u. Beilagen: Christian Kaufeisen

Ansprechpartnerin: Maritta Herrmann, Telefon 0781/9340-162

E-Mail: werbung.offenblatt@der-guller.de

Mediadaten: www.der-guller.de/mediadaten-offenblatt

Herstellung: STADTANZEIGER Verlags-GmbH & Co. KG, Scheffelstraße 21, 77654 Offenburg

Vertrieb: STAZ + GULLER Vertriebsgesellschaft mbH, Luisenstraße 22, 7764 Offenburg

Druck: Reiff Zeitungsdruck GmbH, Marlener Straße 9, 77656 Offenburg

Redaktionsschluss: Montag, 17 Uhr

Erscheinungsweise: wöchentlich, jeweils sonntags, kostenlose Verteilung in alle Haushalte

Anzeigenschluss: Dienstag, 17 Uhr

Auflage: 30 500 www.offenblatt.de

V.l.: Fachberaterin Sophie Glöckler, Geschäftsführerin Petra Fränzen, Polizeipräsident Jürgen Rieger und Fachberaterin Katja Weiten. Foto: Siefke

Acht Stunden am Tag betreut

Gemeinderat macht den Weg frei: Ganztagsförderung für Grundschulkinder in Offenburg ab 2026

SCHULEN gr Ab dem Schuljahr 2026/2027 gilt bundesweit ein Rechtsanspruch auf Förderung und Betreuung für Kinder im Grundschulalter von acht Zeitstunden täglich. Das am Montag vom Gemeinderat einstimmig verabschiedete Konzept der Stadt Offenburg sieht vor, ab dem Schuljahr 2026/27 an allen Grundschulen ein Ganztagsschulmodell mindestens in Wahlform einzuführen.

Eltern haben dann die Wahl. Sie können ihre Kinder wie bisher im Halbtag beschulen lassen oder an mindestens drei Tagen die Woche das Angebot der Ganztagsschule in Anspruch nehmen. Die Schulzeit beläuft sich hier jeweils auf acht Zeitstunden, an den beiden restlichen Tagen auf je 4,5 Zeitstunden.

An den kürzeren Tagen besteht für die Erziehungsberechtigen dann zusätzlich die Möglichkeit, ein ergänzendes kommunales Betreuungsangebot von je 3,5 Zeitstunden zu buchen. Auch für die Schulen besteht Wahlfreiheit. Bereits bestehende Ganztagschulen können mit Zustimmung der schulischen Gremien und der Eltern weiterhin die Form der gebundenen Ganztagsschule beibehalten Zwei gebundene Ganztagsschulen (Konrad-Adenauer-Schule und Lorenz-Oken-Schule) haben bereits entschieden, ihr bewährtes Modell weiterzuverfolgen.

An den beiden Tagen mit der ergänzenden Betreuung plant die Stadt, den Schülerinnen und Schülern ein freiwilliges Mittagessenangebot zu unterbreiten. Die Möglichkeit, mittags zu essen, soll auch von Halbtagskindern aus höheren Klassenstufen

Kreative Projekte für höhere Klassenstufen gibt es bereits jetzt – zum Beispiel die Schüler-Firma der Waldbachschule. Foto: Lötsch

mit Nachmittagsunterricht in Anspruch genommen werden können.

Für Betreuungsbedarfe, die über den Rechtsanspruch von acht Stunden am Tag hinausgehen, wird die Stadt Elterninitiativen vor Ort unterstützen.

Hintergrund

Die Entscheidungsfindung für das Modell geht zurück auf einen mehrstufigen Beteiligungsprozess, an dem unter anderem die Schulleitungen, Elternbeirät*innen der Kitas und Schulen, die Ortsvorstehenden und Ortschaftsräte sowie das Staatliche Schulamt beteiligt waren.

Die bevorzugte Umsetzungsvariante sorge für gleiche Rahmenbedingungen im gesamten Stadtgebiet, hatte die zuständige Fachbereichsleiterin Martina Köllner in der Vorwoche im Ausschuss für Bildung, Soziales und Sport betont. „Kurze Beine, kurze Wege“, sei die Devise. Insgesamt rechnet die Stadt mit investiven Kosten in Höhe von

etwa 8,5 Millionen Euro, wovon etwa fünf Millionen durch Fördermittel gedeckt werden sollen. Wie viel Geld es vom Land tatsächlich geben wird, sei aber noch offen, so Sozialbürgermeister Hans-Peter Kopp. Die laufenden jährlichen Kosten schätzt die Verwaltung nach Abzug der erwartbaren Zuschüsse auf rund 4,7 Millionen Euro. Eine Summe, die vergleichbar mit den bisherigen Kosten für Ganztagschulen und Schulkindbetreuung ist.

Debatte im Ausschuss

Dem Beschluss im Gemeinderat war in der Vorwoche eine Debatte im Ausschuss für Bildung Soziales und Sport vorangegangen.

Trudpert Hurst (CDU/FDP) bezeichnete die Pläne aus gesamtstädtischer Sicht als richtig. Er lobte, dass alle Schulen gleichwertig behandelt würden und identifizierte den Fachkräftemangel als zentrales Problem für die Umsetzung.

Stadt erwirbt Areal in Bahnhofsnähe

Der Gemeinderat hat im nichtöffentlichen Teil seiner Sitzung am Montag, 7. April, dem Kauf eines 3159 Quadratmeter großen Areals im Sanierungsgebiet Bahnhof-Schlachthof zugestimmt. Konkret handelt es sich dabei um die zwischen Unionrampe und Rée-Carré gelegenen Grundstücke .Hauptstraße 11 und 13, Unionrampe 6 sowie ein angrenzendes Stellplatzgrundstück. Ein exaktes

Nutzungskonzept gebe es dafür noch nicht. Oberbürgermeister Marco Steffens und Baubürgermeister Oliver Martini verkündeten im Pressegespräch nach der Gemeinderatssitzung aber, dass einige Dienstleistungsunternehmen großes Interesse signalisierten, sich im rückwärtigen Bereich des Areals anzusiedeln. Die direkte Nähe zum Bahnhof mache den Standort für die

Gewinnung von Fachkräften besonders attraktiv. Die entstehenden Kosten für den Kauf sehen OB und Finanzbürgermeister Hans-Peter Kopp als Investition, die sich gleich doppelt rechne: einerseits durch den zu erwartenden Verkaufspreis und andererseits durch die höheren Gewerbesteuereinnahmen durch die Unternehmen, die sich hier künftig ansiedeln sollen.

Kritisch äußerte sich Annette Steinhausen (Grüne). Ihre Fraktion lehne den Ausschluss von Kindern der Halbtagsschule aus dem Mittagsband ab. Matthias Drescher (FWO) betonte hingegen die Flexibilität, welche das Wahlmodell den Eltern, Schüler*innen und Schulen biete. Darüber hinaus bat er die Verwaltung darum, Möglichkeiten für Angebote in der Frühbetreuung zu prüfen. Gleichzeitig stellte er fest, dass es in einer Stadt der Größe von Offenburg nicht möglich sei, alle Bedürfnisse vollständig abzudecken.

Christian A. Eggs von der AfDFraktion sieht die Betreuungssituation in den Morgenstunden ebenfalls kritisch, signalisierte aber die prinzipielle Zustimmung seiner Fraktion.

Den Vorschlag von Martina Bregler (SPD), den Schulen zusätzliche Verwaltungskapazitäten zur Verfügung zu stellen, um Elterninitiativen bei der Organisation der Randzeitbetreuung zu unterstützen, nahm Sozialbürgermeister Kopp in den Beschlussvorschlag für den Gemeinderat auf.

Sarah Wiedmann (Die Linke) äußerte Bedenken bezüglich der Betreuungskosten. Familien mit geringen Arbeitseinkommen könnten finanziell überfordert sein.

Sozialbürgermeister Kopp signalisierte Verständnis und entgegnete, dass es für solche Fälle das „bewährte Instrument“ des Offenburger Familienpasses gebe, das einkommensbezogene Nachlässe auf die Gebühren ermöglicht. Die Zuschüsse des Landes würden außerdem auf die Gebühren zur Entlastung der Eltern angerechnet.

Personalie

Lauréanne Hoeltzel-Waldmann, Abteilungsleiterin Zentrale Dienste und Wahlen, verlässt die Stadt Offenburg. Die 44-jährige Diplom-Verwaltungswirtin (FH) wechselt nach Achern und wird dort den Fachbereich Zentrale Steuerung, Bürgerservice und Wahlen leiten. In Offenburg zeichnete Hoeltzel-Waldmann neben dem Bereich Wahlen auch für zentrale Verwaltungsprozesse verantwortlich.

Politisches Meinungsforum

Satzung nein, Bürokratieabbau

ja

Unmut wegen Grundsteuer

Die Diskussion über die Wiedereinführung der Baumschutzsatzung ist sehr wichtig. Wir sind keines Weges gegen Bäume und ihren Schutz und wollen uns hier nicht falsch verstanden wissen. Wir hätten uns im Zeitstrahl Bürger Info Veranstaltungen gewünscht. Um auf unsere Bäume zu achten, brauchen wir eine solche Satzung nicht. Haben die Bürger*innen zum Teil mehr Ausgaben mit der neuen Grundsteuer, müssen wir hier dann dem noch eines draufsetzen mit Gebühren für den Antrag zur Überprüfung von Bäumen.

Uns ist im gesamten Stadtgebiet kein Fall bekannt, dass ein Baum von der Bürgerschaft entfernt worden ist, der nicht hätte entfernt werden dürfen. Ein weiterer Kritikpunkt sind die immensen Kosten, die diese Baumschutzsatzung mit sich bringt. Die Verwaltungskosten steigen, die Bürokratie wächst – und das alles zulasten der Bürgerinnen und Bürger.

Würden wir eine Verpflichtung eingehen, zusätzlich jährlich 75 Bäume zu pflanzen. Würde dies uns helfen und den nächsten Generationen noch mehr. Dies wäre vorbildlicher als eine Satzung einzuführen.

Ich sage es klar: Diese Satzung wird in unserer Stadt und seinen Ortschaften auf breite Ablehnung stoßen. Es gibt kaum Unterstützung für ein Vorhaben, das an den Bedürfnissen der Menschen vorbeigeht. Die Satzung wird in der Praxis kaum umsetzbar sein und wir wissen ja das in Vergangenheit als die vorige Satzung noch in Kraft war, von 100 Anträgen lediglich 3 abgelehnt wurden.

Unsere Bürger wissen selbst, wie sie mit ihrem Eigentum verantwortungsvoll umgehen. Sie brauchen keine zusätzlichen Vorschriften, die ihnen vorschreiben, was sie auf ihrem eigenen Grundstück tun dürfen und was nicht. Eine solche Satzung bevormundet die Menschen und unterstellt ihnen mangelndes Umweltbewusstsein – völlig zu Unrecht!

Setzen wir uns für eine bürgernahe Politik ein, die Demokratie, wirtschaftliche Vernunft und das Vertrauen in unsere Bürger in den Mittelpunkt stellt.

Konrad Gaß

In den letzten Wochen haben Grundsteuerbescheide in vielen Haushalten für erhebliche Unruhe und Unmut gesorgt. Die steigenden Beträge, die viele Bürgerinnen und Bürger erhielten, führten oft zu Ärger und Verzweiflung. Die neue Grundsteuer, welche eine wichtige Einnahmequelle für die Kommunen darstellt, wird von vielen als ungerecht empfunden – insbesondere in Zeiten von Inflation und steigenden Lebenshaltungskosten. Die Wut über die hohen Bescheide ist verständlich, da viele Menschen bereits mit finanziellen Belastungen kämpfen. Die Angst, die eigene Wohnung oder das eigene Haus aufgrund unbezahlter Steuern zu verlieren, schürt zusätzliche Sorgen. Des Weiteren fühlen sich Betroffene ungerecht behandelt, da die neue Berechnung für sie nicht transparent oder nachvollziehbar ist. Viele Bürger fühlen sich in dieser Situation hilflos und wünschen sich eine Lösung.

Insgesamt zeigt sich, dass die Thematik der Grundsteuerbescheide weitreichende emotionale und finanzielle Auswirkungen auf die Bürger hat. Es ist wichtig, dass die Kommunen und die Politik auf diese Sorgen eingehen und Lösungen finden, welche sowohl die Einnahmen der Kommunen sichern als auch die Bürger entlasten.

Ein offener Dialog und transparente Informationen könnten dazu beitragen, das Vertrauen in das System zu stärken und die Ängste der Menschen zu mindern.

Warum gibt es in Offenburg nicht die Möglichkeit, eine Korrektur des Bodenrichtwertes vorzunehmen, z. B. in der Gemeinde Calw? Hierdurch würden Eigentümer mit Gartengrundstücken weniger Grundsteuer bezahlen müssen als aktuell. Zurzeit werden alle Grundstücke – unabhängig davon, ob es sich um ein Gartengrundstück oder ein Baugrundstück handelt – gleich bewertet. Es versteht sich doch von selbst, dass ein unerschlossenes Gartengrundstück niemals den Wert eines Baugrundstücks haben kann. Bis höchstrichterliche Entscheidungen getroffen werden, bleibt nur die Möglichkeit, ein Gutachten für das bewohnte Grundstück erstellen zu lassen und dieses dem Finanzamt mitzuteilen. Dieses kann beim Gutachterausschuss Offenburg beantragt werden.

Aydin Özügenc

Taschengeldbörse lebt wieder auf

Kleine Jobs, große Wirkung, ganz easy, so titelt der neue Flyer der Offenburger Taschengeldbörse. Wir Freien Wähler Offenburg haben am 4.11.2023 die Einrichtung beziehungsweise die Wiedereinrichtung einer «Taschengeldbörse» in Offenburg beantragt. Wir wollen, dass die Stadt Offenburg mit dem Projekt «Taschengeldbörse» das soziale Miteinander der Generationen fördert. Offenburger Jugendliche im Alter von 14 bis 18 Jahren werden an Personen vermittelt, die bei verschiedenen Tätigkeiten Hilfe benötigen. Das können kleinere Hilfstätigkeiten in Haus und Garten sein, Babysitten, Hausaufgabenhilfe, Einkaufen, ein Spaziergang mit dem Hund

oder zum Beispiel Hilfe am PC. Wir freuen uns, dass es dieses Angebot in Offenburg jetzt wieder gibt! Unter www.sfz-offenburg.de/ taschengeldboerse bekommen Sie, lieber Mitbürgerinnen und Mitbürger, konkrete Informationen sowie auch ihre Ansprechpartner in den jeweils zuständigen Familienzentren.

Wir halten eine organisierte Taschengeldbörse für eine gewinnbringende Ergänzung des Angebots der Nachbarschaftshilfe und eben für ein Angebot, das wir in Offenburg dringend brauchen. Wir sind davon überzeugt, dass durch die Taschengeldbörse unsere Bürgerinnen und Bürger eine niedrigschwellige Unterstützung in Anspruch nehmen können und unsere Jugendlichen die Chance erhalten, sich zu engagieren, zu integrieren und sich etwas dazu zu verdienen – ein wichtiger Schritt für ein positives Miteinander in unserer Stadt.

Wir wünschen uns jetzt natürlich eine gute Werbung und Kommunikation, unter anderem auch durch Vereine und die Schulen, damit das Projekt zum Laufen kommt und sowohl die Jugendlichen als auch die Erwachsenen Unterstützung und Freude mit der Taschengeldbörse haben werden. Also: Nutzen Sie dieses Angebot und machen Sie mit.

Ihre FWO-Fraktion

Aydin Özügenc
Die Fraktion der Freien Wähler Offenburg
Konrad Gaß

Hecker und Struve in die Walhalla

In der nächsten Runde

Verkehrs- oder verkehrte Politik?

Taras Maygutiak

Es ist schon ein paar Jahre her: Damals bin ich noch als einziger Stadtrat der AfD im Gemeinderat gesessen. Es lief eine kontroverse Diskussion über die künftige Nutzung des Salmen und über dessen geschichtliche Bedeutung. Argumentativ aus der Hüfte geschossen begründete ich seinerzeit verfassungsgeschichtlich mit den inhaltlichen Verbindungen zur Paulskirche in Frankfurt (Paulskirchenverfassung) und zu Herrenchiemsee (Verfassungskonvent 1948), dass der Salmen durchaus das Zeug zum Denkmal nationaler Bedeutung habe und deshalb auch entsprechend behandelt beziehungsweise gewürdigt werden müsse.

Längst nicht jeder im Rat teilte diese Sicht. Die Badische Zeitung nahm das damals auf und gab meinen Argumenten in einem Artikel noch einmal das nötige Gewicht. Heute ist das Usus. Dass man Jahre später auch noch meine Idee im Kulturausschuss aufnahm, dass wir mit braunen Autobahnschildern, die auf besondere Orte und Plätze hinweisen, den Salmen zusätzlich aufwerten könnten, freut mich. Noch mehr freut mich, dass diese nun an der A5 zu sehen sind. Danke an alle, die das möglich gemacht haben!

«Will er sich jetzt selber öffentlichkeitswirksam auf die Schultern klopfen?», werden sich manche fragen. Darum geht es mir nicht. Ich hatte 2019 im «Meinungsforum» eine weitere Idee, die leider nicht aufgegriffen wurde. Ich schlug damals vor, beim Bayerischen Ministerrat und der Bayerischen Akademie der Wissenschaften einen Platz in der Walhalla bei Regensburg für Friedrich Hecker und Gustav Struve zu beantragen. Der Salmen würde so auch überregional bekannter werden.

Glauben Sie mir, die Idee ist gut! Neben der überregionalen Aufwertung der Gedenkstätte an sich wünsche ich mir allerdings auch, dass man sich inhaltlich mit den 13 Forderungen des Volkes in Baden befasst. Die zweite Forderung über Presse- und Meinungsfreiheit könnte aktueller nicht sein!

Taras Maygutiak

Nachdem sich schon in der Planungs- und Umweltausschuss-Sitzung eine Mauer von CDU-FDP, AfD und FBO gegen eine ergebnisoffene Diskussion für eine Baumschutzsatzung in unserer Stadt gebildet hat, gab es im Gemeinderat am vergangen Montag leider keine Veränderung. Wieder nur Blockade-Haltung.

Mittlerweile müssten auch jede und jeder, auch mancher Klimawandel-Leugner, wissen, dass Bäume die Lebensqualität in unserer Stadt erhalten bzw. erhöhen. Nicht nur ökologisch in Hinsicht auf Biodiversität, sondern ganz bedeutend für das Kleinklima in unserer Stadt. Bäume produzieren lebenswichtigen Sauerstoff, binden das schädliche Kohlendioxid und kühlen unsere Luft.

Ein lebenswertes Offenburg ist nur mit Bäumen vorstellbar. Eine Baumschutzsatzung sichert vor allem eine gesicherte Nachpflanzung, wenn aus diversen Gründen mal ein Baum gefällt werden muss. Nach meiner Ansicht müssen wir alles dafür tun, dass unsere «natürlichen» Klimaanlagen in Offenburg nachhaltig gefördert und erhalten bleiben.

Eine Baumschutzsatzung ist ein wichtiger Baustein dazu, deshalb sagen wir von der SPD-Fraktion ja zu einer ergebnisoffenen Diskussion in Sachen Baumschutzsatzung ohne ideologische Bretter vor unseren Köpfen! Davon würden letztendlich alle Offenburgerinnen und Offenburger sowie vor allem unsere Bäume profitieren.

Gerhard Schröder

Das Autofahren wird uns Offenburger Bürgern und unseren Gästen zunehmend madig gemacht. Fahrradstraßen, ohne ausreichend Platz für alle Verkehrsteilnehmer und ohne ausreichend Parkmöglichkeiten für Besucher und Handwerker der Anwohner, immer mehr kostenpflichtige Parkhäuser, anstatt kostenfreie Parkplätze entlang der Straßen, Tankstellen, die stillgelegt werden ...... die Planung des neuen Sportparks Süd, ohne ausreichende Parkmöglichkeiten und der neuen Erich-Kästner-Realschule in einer Lage, in der schon die jetzige kleine Grundschule von der Anfahrtsmöglichkeit völlig an ihre Grenzen stößt. Dauerbaustellen, fragwürdige Straßenführungen und verkehrsflussbehindernde Ampelschaltungen tragen dazu bei, dass man sich als Autofahrer in unserer Stadt nicht mehr wirklich wohl fühlt.

Autofreie 15-Minuten Städte ohne Bäume, mit 5G und Überwachungskameras sind sicher kein gesundes Vorbild für unsere Stadt.

Ich selbst bin seit über 25 Jahren als begeisterter Fahrradfahrer in Offenburg unterwegs und lasse das Auto so oft wie möglich stehen. Bei dem Umbau der Zeller Straße habe ich «erradelt», dass dieses Fahrradstraßenkonzept nicht wirklich für uns Fahrradfahrer gemacht ist und noch weniger für ein gutes Miteinander aller Verkehrsteilnehmer, noch für mehr Sicherheit sorgt. Es liegt in unserer Verantwortung, für ein gutes Miteinander aller Verkehrsteilnehmer zu sorgen. Und Autos, die im Stau stehen, sollten unter Klimaschutzgesichtspunkten, unter dem Gesichtspunkt der Nachhaltigkeit und unter wirtschaftlichen Gesichtspunkten, vermieden werden, ohne dass die Freiheit der Menschen zu sehr eingeschränkt wird.

Jetzt beim Stadtradeln sind alle, mich eingeschlossen, eingeladen, mit in die Pedale zu treten und das Auto stehen zu lassen.

Doch ich kann und will nicht zu jeder Zeit und bei jedem Wetter alles mit dem Fahrrad erreichen und erledigen.

Der Individualverkehr und das Bargeld stehen bei uns im Vordergrund, zum Erhalt unserer Freiheitsstadt Offenburg.

Fritz Düker

Gerhard Schröder

Infos über Glasfaserausbau

Bald werden Griesheim, Bühl, Weier, Waltersweier, Windschläg und Bohlsbach durch Deutsche Glasfaser mit schnellem Internet versorgt: Nachdem bei der Nachfragebündelung ausreichend Kundinnen und Kunden sich für einen Glasfaseranschluss entschieden haben, beginnt nun die Ausbauplanung. In Kürze sind die Beraterinnen und Berater von Deutsche Glasfaser wieder in den genannten Orts- und Stadtteilen von Offenburg unterwegs. Sie bieten allen Interessierten und Spätentschlossenen ein persönliches Gespräch zu Hause über die Vorteile, Tarife und den Ausbau an der jeweiligen Adresse an. Die Beraterinnen und Berater kommen proaktiv auf die Haushalte in Griesheim, Bühl, Weier, Waltersweier, Windschläg und Bohlsbach zu. Sollten die Bewohnerinnen und Bewohner nicht angetroffen

werden, wird eine Karte mit den Kontaktdaten im Briefkasten hinterlassen.

Professionelle, externe Dienstleister, die sich ausweisen können, nehmen die Beratung vor. Sie tragen Dienstkleidung mit deutlich sichtbarem Unternehmenslogo. Auf den Ausweisen sind ein Passfoto, der Name und eine Identifikationsnummer zu sehen. Diese Nummer kann bei Bedarf über die Service-Hotline von Deutsche Glasfaser unter 02861 - 890 600 geprüft werden. Fragen zum Bau beantwortet auch die kostenlose Deutsche Glasfaser Bau-Hotline unter 02861 - 890 60 940 montags bis freitags in der Zeit von 7 bis 18 Uhr.

Alle Informationen über Deutsche Glasfaser und die buchbaren Produkte sind zudem online unter www.deutsche-glasfaser. de verfügbar.

Neues Schulgebäude eingeweiht

Das Montessori Zentrum Ortenau e. V. (MZO) feierte am 29. März die Einweihung des Neubaus, der 200 Schüler*innen zusätzlich Platz bietet. „Es ist ein Haus, das nicht nur Räume bietet, sondern einen Raum für eine zukunftsweisende Bildung, Visionen und die Potenzialentfaltung junger Persönlichkeiten“, unterstreicht Johannes Wilhelmi, Geschäftsführer des MZOs, die Bedeutung des Schulgebäudes.

Hans-Peter Kopp, Bürgermeister für Finanzen, Kultur und Soziales, betont in seiner Rede: „Eine vielfältige Schullandschaft zieht Familien an, die nach alternativen Bildungswegen suchen – Familien, die Offenburg als Lebens- und Arbeitsort entdecken.“

Mit Kindern unterwegs

Kinderbetreuer*innen für Sommerferien

Das Offenburger Sommerferienprogramm „FerienSpass“ sucht wieder Unterstützung.

Über sechs Wochen versorgen Betreuer*innen wochenweise von 9 bis 16 Uhr Kinder zwischen sechs und 13 Jahren. Dabei suchen sie selbst aus, ob sie eine oder mehrere Wochen als Betreuer*in arbeiten wollen.

„Die Aufgaben bestehen hauptsächlich darin, die Kinder zu beaufsichtigen und mit Spielen und Bastelangeboten zu beschäftigen“, sagt die erfahrene Betreuerin Anika Landstorfer. Sie ist im dritten Jahr dabei. Die Betreuer*innen erhalten je nach Vorkenntnisse und Alter eine Aufwandsentschädigung.

„Die Hauptaufgabe der Betreuerinnen und Betreuer ist, da zu sein“, sagt die Lehramtsstudentin. „Wer sich mehr zutraut, darf selbstständig Bastelangebote oder Spiele anbieten.“

Das verpflichtende Vorbereitungswochenende findet am 31. Mai und 1. Juni statt. Die Betreuer*innen erhalten unter anderem einen Erste-HilfeKurs. Außerdem werden Erlebnispädagogische Angebote gezeigt, die später in den Ferienwochen zum Einsatz kommen

gesucht

Anika Landstorfer Foto: privat

können. Der gewinnbringende Workshop „Nähe und Distanz“ findet wie in 2024 wieder statt: „Wir werden super vorbereitet auf die Arbeit mit den Kindern. Und auch während des Ferienprogramms werden wir immer zu 100 Prozent unterstützt“, erinnert sich die 21-Jährige. Das Mindestalter für Bewerber*innen ist 14 Jahre, es werden aber auch explizit Betreuer*innen über 16 und über 18 Jahren gesucht. Die Stadtranderholung ist als Praktikumsstelle für die Erzieher*innenausbildung anerkannt.

Weitere Informationen: www.offenburg.de/ferienspass

Foto: MZO

Mit Spaß bei der Arbeit

Boys' Day: Maxim und Mica im Rathaus

Am 3. April war Girls'Day und Boys'Day in vielen Betrieben. Auch das Rathaus hat mitgemacht. In die Organisationseinheit Marketing und Kommunikation durften Mica Strohm, 12 Jahre, und Maxim Madzak, 10 Jahre, reinschnuppern. Beide kommen von der Werk- und Realschule Friesenheim.

Maxim geht in die fünfte Klasse: „Es gab auch andere Jobs in der Nähe – ich hab' einfach das ausprobiert. Ich hab' eigentlich gedacht, dass hier Plakate und so gemacht werden“, sagt der Hobby-Handballer auf die Frage, was er erwartet habe. Mica besucht die sechste Klasse: „Ich wollte dieses Jahr unbedingt hier hin, weil es letztes Jahr schon voll war. Was eine Pressemitteilung ist, weiß ich auch schon. Und ich durfte heute auch eine versenden.“ Erwartet hat er dennoch anderes: „Ich dachte, wir sind nicht so viel unterwegs und managen eher was.“

Spaß hat das „Unterwegssein“ trotzdem gemacht: Die

Neue Chefin am Landgericht

beiden Praktikanten für einen Tag durften mit der Social Media-Beauftragten Robin Sester durch Offenburg laufen, um die Osterdeko abzufilmen und zu fotografieren. „Die beiden haben ein gutes Auge für den richtigen Blickwinkel“, sagt Sester und verwendet die entstandenen Bilder gerne für die Social Media Accounts der Stadt Offenburg.

Noch viel Zeit

Nach einer gemeinsamen Mittagspause im Vinzentiusgarten bei Burger und Eis ging es zurück in die Amtsstube. Mica: „Fabian (Fabian Fallert, Leiter der Organisationseinheit) hat uns neue Logos für ein Projekt gezeigt, die er selber noch nicht gesehen hatte.“ Das fand auch Maxim aufregend: „Ein Projekt über Verkehr war das.“ Beruflich wollen die beiden später etwas anderes machen. Was genau, wissen sie noch nicht. Was sie wissen, ist, dass sie noch viel Zeit für diese Entscheidung haben.

TGO-Fahrkarten im Bürgerbüro

Der Fahrkartenverkauf wird aufgrund einer technischen Änderung beim Tarifverbund Ortenau GmbH (TGO) in folgenden Vorverkaufsstellen zum 30. April in den Ortsverwaltungen Bohlsbach, Bühl, Elgersweier, Fessenbach, Griesheim, Rammersweier, Waltersweier, Weier, Windschläg sowie in Connys Toto-Lotto-Shop Zell-Weierbach sowie in der Zweigstelle Post Zunsweier eingestellt.

Fahrscheine können weiterhin im Bürgerbüro Offenburg und direkt in den Bussen erworben werden. Auch über die OrtenauMobil App können Fahrscheine durch wenige Klicks, passend zur ausgewählten Verbindung, direkt als Handy-Ticket erworben werden. Bezahlt wird nach einmaliger Registrierung. Bei Rückfragen: Technische Betriebe Offenburg unter Telefon 0781/9276-299.

Seit einigen Monaten ist Gertrud Siegfried (M.) Präsidentin des Offenburger Landgerichts. Jetzt besiegelte Landes-Justizministerin Marion Gentges (r.) die Personalie mit einer Feierstunde im Gerichtsgebäude. Oberbürgermeister Marco Steffens (l.) verwies auf die Tradition Offenburgs als Freiheitsstadt. Unter den Autoren des 1847 in Offenburg verabschiedeten ersten Grunderechtekatalogs in deutscher Sprache seien viele Juristen gewesen. Damals seien sowohl Demokratiegeschichte als auch Rechtsgeschichte geschrieben worden. Foto: Stadt Offenburg

39,42 € im Monat

Mit dem D-Ticket JugendBW für nur 39,42 € im Monat im gesamten Nahverkehr mit Bus und Bahn bundesweit mobil sein! Und wer möchte bekommt seine Fahrkarte bequem per App auf sein Smartphone. Informiere dich jetzt unter: www.ortenaulinie.de/jugendbw

Mica (Mitte) & Maxim (rechts) mit Robin Sester unterwegs. Foto: Benz
Mehr Infos

Solides Geschäftsjahr

Bilanzpressekonferenz der Sparkasse Offenburg/Ortenau/Kundenvolumen von 9,7 Milliarden Euro

Die Sparkasse Offenburg/ Ortenau blickt auf ein erfolgreiches Geschäftsjahr 2024 zurück. Das Finanzinstitut konnte die Bilanzsumme steigern, das Kundenvolumen ausbauen und die regionale Wirtschaft mit einer stabilen Kreditversorgung weiterhin unterstützen. Das berichteten die Vorstandsmitglieder Jürgen Riexinger, Alexander Meßmer und Nicole Dietl in der BilanzPressekonferenz in der Offenburger Sparkassen-Zentrale.

Im vergangenen Jahr konnte die Sparkasse ihre Bilanzsumme um ein Prozent auf 5,13 Milliarden Euro (Vorjahr: 5,08 Milliarden Euro) erhöhen. Der Bilanzgewinn lag bei 7,4 Millionen Euro, das Betriebsergebnis vor Bewertung blieb mit 58 Millionen Euro nahezu auf Vorjahresniveau. „2024 war ein solides Geschäftsjahr, in dem wir uns trotz zahlreicher Unsicherheiten erfolgreich behaupten konnten“, sagte der Vorstandsvorsitzende Jürgen Riexinger.

Das Kundenvolumen wuchs um vier Prozent auf 9,7 Milliarden Euro. Das Kreditgeschäft verzeichnete ebenfalls einen Anstieg von vier Prozent auf 3,5 Milliarden Euro. Im Einlagengeschäft verbucht die Sparkasse

ein Plus von drei Prozent auf 3,9 Milliarden Euro. „Die Menschen und die Unternehmen in unserer Region vertrauen uns“, so Riexinger. Die Kosten-ErtragsRelation (CIR) blieb mit 55 Cent stabil (2023: 53,6 Cent) – ein Beleg für die hohe Effizienz der Sparkasse. Im Bereich der Immobilienfinanzierungen baute die Sparkasse ihre Marktführerschaft weiter aus. Insgesamt wurden Darlehen im Wert von mehr als 590 Millionen Euro für Unternehmen, Selbstständige und

private Immobilienfinanzierungen zugesagt. „Nach dem Rückgang der Zusagen im Jahr 2023 haben wir 2024 eine Erholung erlebt. Besonders die sinkenden Zinsen und die Preisbereinigungen haben die Nachfrage nach Gebrauchtimmobilien belebt“, erläuterte Alexander Meßmer, stellvertretender Vorstandsvorsitzender. Das Umsatzvolumen bei der Immobilienvermittlung stieg um 14 Prozent auf 34,1 Millionen Euro, und die Zahl der vermittelten Objekte wuchs auf 106. Weiter rückläufig sind

hingegen neu gebaute Wohneinheiten – das ist vor allem auf die hohen Baukosten zurückzuführen. Der Bedarf im Bereich Sanierung von Bestandsimmobilien wächst weiter. Die Sparkasse positioniert sich hier als kompetente Partnerin und hat 2024 ihren Fokus auf energetische Modernisierung verstärkt. Dies beinhaltete Schulungen der Berater, einen Sanierungspodcast und einen Online-Modernisierungsrechner. Seit 2010 wurden über 570 Millionen Euro an Förderdarlehen für nachhaltige Bauprojekte bereitgestellt. Das erfolgreiche Wertpapiergeschäft der Sparkasse setzte sich fort: Das verwaltete Vermögen stieg um fünf Prozent auf einen neuen Rekordwert von 2,3 Milliarden Euro. Besonders festverzinsliche Wertpapiere und Aktien waren gefragt, was zu einem Plus von 65,2 Prozent im Wertpapiergeschäft führte. Die Sparkasse setzt zunehmend auf digitale Innovationen und sichert dabei höchste Sicherheitsstandards. Vorstandsmitglied Nicole Dietl erklärte: „Unsere Kunden schätzen den persönlichen Kontakt und gleichzeitig die Möglichkeit, ihre Bankgeschäfte sicher und einfach digital zu erledigen.“

Sparkasse und Sponsoring

Im Jahr 2024 hat die Sparkasse rund 3,0 Millionen Euro in etwa 800 Projekte in der Region investiert – eine halbe Million mehr als 2023. Dazu gehörte auch die Förderung der „Schülerpotenzialanalyse“, die die Sparkassen-Stiftung zum 15. Mal in Zusammenarbeit mit der Agentur für Arbeit unterstützte (jeweils 26.000 Euro für 400 Schüler). 2025 wird das Fördervolumen auf je 36.000 Euro erhöht. Die Regionalstiftung der Sparkasse

spendete 2,3 Millionen Euro für 198 Projekte, während weitere 700.000 Euro an Spenden und Sponsorings in 604 Einzelspenden ausgeschüttet wurden – vor allem an Vereine in der Region. Im Herbst 2025 wird eine neue Förderplattform starten, auf der Vereine und Institutionen schnell und einfach digital Förderungen beantragen und verwalten können. Mehr Informationen erhalten die Organisationen in Kürze.

Die Stadtbibliothek Offenburg bleibt vom 18. bis 21. April geschlossen. Die Außenrückgabe bleibt ebenfalls geschlossen von 17. April, 19 Uhr, bis 22. April, 11 Uhr. Ab 22. April ist die Stadtbibliothek wieder wie gewohnt geöffnet. Die Städtische Galerie, der Salmen und das Museum im Ritterhaus sind am 18. April und 21. April geschlossen. Am Samstag, 19. April, und am Ostersonntag, 20. April, sind die Einrichtungen regulär geöffnet.

Sparkassen-Vorstand (v.l.): Nicole Dietl, Jürgen Riexinger und Alexander Meßmer. Foto: Sparkasse

Änderungen und Ersatzverkehr

Rheintalstrecke in den Osterferien saniert/Offenburg von Umleitungen und Ausfällen betroffen

Die Bahn saniert mehrere Abschnitte der viel befahrenen Strecke zwischen Karlsruhe und Basel. Das Bahnprojekt Karlsruhe–Basel arbeitet zeitgleich am viergleisigen Ausbau. Es gibt daher vom 18. bis 27. April mehrere Fahrplanänderungen. Weitere Infos unter bahn.de.

Die Deutsche Bahn (DB) hat für die Osterfeiertage 2025 und die darauffolgende Woche ein umfangreiches Bau- und Sanierungspaket für die Rheintalbahn geschnürt: Unter anderem erneuert die DB Gleise und Weichen und verbessert die bestehende Infrastruktur. Gleichzeitig treibt das Bahnprojekt Karlsruhe–Basel den viergleisigen Ausbau der Strecke voran, damit noch mehr Menschen und Güter umweltfreundlich auf der Schiene unterwegs sein können. Im Gesamtzeitraum von Karfreitag, 18. April, 21 Uhr, bis Sonntag, 27. April, 23.15 Uhr, erfordern die Bauaktivitäten Sperrungen von Gleisen bzw. Teilstrecken entlang des Verlaufs der Rheintalbahn. Dadurch kommt es im Regional- und Fernverkehr zu Fahrplanänderungen, Umleitungen, Zugausfällen und Ersatzverkehr mit Bussen. Die DB arbeitet unter anderem an der langfristigen Optimierung des Bahnknotens Offenburg und baut dafür bereits jetzt zwei zusätzliche Weichen sowie die Ausstattung für das Europäische Zugbeeinflussungssystem ETCS ein. Gleichzeitig führt das Bahnprojekt Karlsruhe–Basel sowohl südlich von Rastatt als auch in Basel Oberleitungs- und Kabeltiefbauarbeiten durch. Damit die Fahrgäste während der umfassenden Bauarbeiten trotzdem gut an ihr Ziel gelangen, haben die betroffenen Verkehrsunternehmen gemeinsam mit dem Land Baden-Württemberg ein umfassendes Ersatzkonzept erarbeitet.

Fernverkehr

Die von Norden kommenden Fernverkehrszüge enden in Baden-Baden bzw. in Einzelfällen in Karlsruhe. Zwischen Baden-Baden und Freiburg im Breisgau bietet die DB einen Ersatzverkehr mit IC-Bussen an. In den Abendstunden verkehrt dieser zwischen Karlsruhe und

Freiburg im Breisgau. Ab Freiburg fahren Fernverkehrszüge in Richtung Schweiz. Die Züge der ICE-Verbindungen Hamburg-Dortmund-Köln-Karlsruhe-Basel verkehren während der Bauarbeiten nur bis bzw. ab Karlsruhe.

ICE-Linie Berlin - FrankfurtBasel - Interlaken

Züge dieser Linie verkehren zwischen Berlin und Karlsruhe bzw. Baden-Baden überwiegend unter neuer Zugnummer.

ICE-Linie (Kiel -) Hamburg - Frankfurt - Basel - Zürich (- Chur)

Züge dieser Linie verkehren zwischen Hamburg und Karlsruhe bzw. Baden-Baden überwiegend unter neuer Zugnummer.

ICE-Linie Hamburg - Dortmund - Köln - Karlsruhe - Basel Züge dieser Linie enden und beginnen in Karlsruhe. Der Abschnitt zwischen Karlsruhe und Basel SBB entfällt. Einzelne Züge entfallen auf dem gesamten Laufweg. Das NJ-Zugpaar 470/471 entfällt zwischen Mannheim und Basel SBB.

Im Fernverkehr gibt es folgendes Angebot für den Ersatzverkehr mit Bussen: – 19. bis 27. April: IC Bus BadenBaden – Freiburg (Breisgau)

– 18. bis 26. April, jeweils nachts von 21 bis 4 Uhr: IC Bus Karlsruhe – BadenBaden – Freiburg (Breisgau)

– 22. April, 22 Uhr, bis 23. April, 22 Uhr:

Lahr. Ebenfalls halten seither Fernverkehrszüge nicht mehr in Offenburg, Fernverkehrskunden werden gebeten, auf den Nahverkehr umzusteigen.

Ansonsten konzentrieren sich die Arbeiten rund um Offenburg auf das Osterwochenende, von Karfreitag, 18. April, 21, Uhr bis Ostermontag, 21. April, 4.30 Uhr. Folgende Buslinien ersetzen den regionalen Zugverkehr:

– Bus RE 7 ab Appenweier –Offenburg Hauptstraße– Friesenheim – Lahr (Schwarzwald)

– Orschweier (– Ringsheim/ Europapark)

– Bus RE 2 ab Appenweier – Offenburg Ost – Haslach

– Bus RE 2 ab Appenweier – Offenburg Ost – Gengenbach

IC Bus A: Karlsruhe – Freiburg (Breisgau)

IC Bus B: Karlsruhe – Baden-Baden – Offenburg

Regionalverkehr

Karlsruhe–Rastatt–Baden-Baden

Auf der Strecke zwischen Karlsruhe und Rastatt über Durmersheim steht ab Ötigheim nur ein Gleis zur Verfügung. Die Linien RB 44 und RE 2 fahren daher jeweils stündlich. Die Strecke über Ettlingen ist im Gesamtzeitraum gesperrt. Die AVG fährt Busse zwischen Karlsruhe Hauptbahnhof, Rastatt und Baden-Baden mit Stopp an allen Unterwegshalten.

Des Weiteren kommt es im gesamten Bauzeitraum jeweils von 21 bis 4 Uhr nachts zu Einschränkungen: Die Linie RB 44 fährt dann alle 30 Minuten und endet in Ötigheim. Zwischen Ötigheim und Baden-Baden fahren halbstündlich Busse mit Halt in Rastatt.

Im Zeitraum 22. April, 22 Uhr, bis 23. April, 22 Uhr, ist die Strecke Rastatt–Baden-Baden voll gesperrt. Zwischen Rastatt und Baden-Baden pendeln Busse im 15-Minuten-Takt. Zwischen Baden-Baden und Achern übernimmt der RE 2 alle Unterwegshalte mit abweichenden Fahrzeiten.

Knoten Offenburg

Bei der Linie RB 26 besteht bereits seit 28. März Ersatzverkehr zwischen Offenburg und

– Bus RE 7 ab Haslach – Friesenheim – Lahr (Schwarzwald)

– Orschweier (–Ringsheim/ Europapark)

Ab 21. April, 4.30 Uhr, bis 22. April, 2 Uhr:

– Bus RE 7 ab Offenburg Hauptstraße– Friesenheim – Lahr (Schwarzwald) –Orschweier (– Ringsheim/Europapark) Emmendingen/Denzlingen – Freiburg

Zwischen Orschweier und Denzlingen fahren im gesamten Zeitraum Züge der Linie RB 26. Zwischen Denzlingen und Freiburg (Breisgau) werden die Linien RB 26 und S2 durch Busse ersetzt, die drei Mal stündlich über alle Unterwegshalte fahren. Des Weiteren fahren ganztägig stündlich Direktbusse zwischen Emmendingen und Freiburg.

Die Deutsche Bahn bittet für die Arbeiten um Verständnis und empfiehlt für Auskünfte die elektronischen Fahrplanmedien. Informationen in Echtzeit gibt es in der Reiseauskunft auf bahn.de und in der App DB Navigator. Die Reiseverbindungen werden sukzessive in die Fahrplanmedien eingepflegt. Zudem empfiehlt die Bahn ihren Kund*innen, mehr Zeit für die Fahrten einzuplanen und gegebenenfalls eine frühere Verbindung zu wählen.

In den Ersatzbussen können keine Fahrräder mitgenommen werden.

Läuft an Ostern nicht nur glatt: der Bahnverkehr. Foto: Maxim Madzak

Städtepartnerschaft: Doppelkonzert im Kunsthaus Weiz

Im Beisein von Oberbürgermeister Marco Steffens feierte die Offenburger Stadtkapelle mit der Elin Stadtkapelle Weiz ein Doppelkonzert im österreichischen Weiz – aus Anlass der 60 Jahre währenden Städtepartnerschaft. Mit dabei eine Gruppe der Partnerschaftsvereinigung Brücke. Vor dem Konzert stand eine Stadtbesichtigung an. Weiz mit seinen 12.000 Einwohner*innen präsentiert sich als innovative und freundliche Stadt.

Vor vollbesetzen Rängen im Kunsthaus Weiz begann das Gastgeberorchester, moderiert vom österreichischen Radiomoderator Hannes Steinwender. Dieser rief kurz vor der Pause OB Marco Steffens sowie den scheidenden Weizer Kulturchef Oswin Donnerer auf die Bühne. Steffens ging auf die lange Tradition der Städtepartnerschaft zwischen Weiz und Offenburg ein, verkörpert durch den Ehrenobmann der Weizer Stadtkapelle Engelbert Maier, Träger der Offenburger Bürgermedaille.

Nach der Pause betrat die Offenburger Stadtkapelle die

V.l.: Oswin Donnerer (Kulturreferent Weiz), Birgit Petterhofer (Obmännin Elin-Stadtkapelle Weiz), Oberbürgermeister Marco Steffens, Klaus-Thomas Teufel, Pascale und Roland Müller („Brücke“), Erwin Eggenreich (ExBürgermeister Weiz), Jess Haberer (1. Vorsitzender Stadtkapelle Offenburg), Monika Langs (Vizebürgermeisterin Weiz). Foto: Langenbacher

Bühne und eröffnete fulminant mit „Omens Of Love“. Dirigent Ansgar Sailer, Fachlicher Leiter der Offenburger Musikschule, welcher kurzfristig für den erkrankten Stadtmusik-Direktor Axel Berger eingesprungen war, machte seinen Job souverän.

Zum offiziellen 60-jährigen Jubiläum 2024 fand sich kein gemeinsamer Termin, daher fand das Doppelkonzert erst 2025

statt. Jess Haberer, 1. Vorsitzender der Offenburger Stadtkapelle, ließ es sich nicht nehmen, Begrüßungs- und Dankesworte zu sprechen, eingerahmt in Erzählungen der Freundschaft. Anschließend übergab er an den 2. Vorsitzenden Volker Hering, der die Moderation übernahm und die alles entscheidende Liebesgeschichte erzählte: Fritz Stelzer, aufgewachsen in Weiz,

verliebte sich zu Militärzeiten und Aufenthalten in Offenburg in ein Durbacher Mädel, ließ sich in der Ortenau nieder und arbeitete bei der Bahn. Die Verbindung zu seinem Bruder Karl nach Weiz blieb; und so war es nur eine Frage der Zeit, dass bereits 1956 ein erster Austausch der beiden Stadtkapellen stattfand. Unter Beisein von Sohn Werner Stelzer glänzte die Stadtkapelle weiter, ein Höhepunkt war „Let it be“, gesungen von Jess Haberer. Endgültig die Freundschaft in den Herzen verankert, spielten die Offenburger „I am from Austria“. Zum Dank überreichten die Weizer einen riesigen Geschenkkorb an OB Steffens und Jess Haberer. Dank auch an Organisatorin Sylvie End aus Offenburg und Birgit Pretterhofer in Weiz. Damit die Freundschaft für die folgenden Jahre halten wird, gab es ein Buffet mit heimischen Leckereien sowie Gespräche unter den Musiker*innen, den Mitgliedern der „Brücke“ unter dem 1. Vorsitzenden Klaus-Thomas Teufel und Jess Haberer. Im Juni werden die Weizer auf einen Gegenbesuch nach Offenburg kommen.

„ REGIONALITÄT IST UNSER WERK. WIR PRO DU ZI ER EN

Erfahre mehr auf e-werk-mittelbaden.de

Rund um die Pflege

Der Pflegestützpunkt Ortenaukreis, Zentrale Offenburg, bietet Außensprechstunden an. Diese finden jeweils von 9 bis 12 Uhr statt. Interessierte können in dieser Zeit am jeweiligen Außenstandort ohne Anmeldung vorbeikommen.

Die Außensprechstunden finden in der kommenden Woche an folgenden Terminen statt: Am Montag, 14. April, im Bürgermeisteramt Ohlsbach, Hauptstraße 33; am Mittwoch und am 16. April im Stadtteil- und Familienzentrum Albersbösch, Altenburger Allee 8. Der Pflegestützpunkt ist eine neutrale und kostenlose Beratungsstelle. Die Mitarbeiterinnen beraten und informieren Menschen mit einem Pflegebedarf und/oder deren Angehörige sowie alle Interessierten rund um die Themen Pflege und Versorgung.

Bei Fragen: Pflegestützpunkt Ortenaukreis, Zentrale Offenburg, Telefon 0781/82-2337, -2531 oder -2593; psp-ortenaukreis@ offenburg.de oder www.pflegestuetzpunkt-ortenaukreis.de.

Osterhase in der Steinstraße und am Fischmarkt

Frohe Ostern

In der Steinstraße und am Fischmarkt erwartet die Besucher*innen vor Ostern eine süße Überraschung. Bei einem Einkauf in den 19 teilnehmenden Geschäften gibt es eine Tafel Osterschokolade der Confiserie Gmeiner gratis dazu. Auch im gerade gestarteten zweiten Bauabschnitt bleiben die Geschäfte in der Steinstraße mit ihrem vielfältigen Angebot zu jedem Zeitpunkt erreichbar und möchten sich so bei ihren Kunden für die Unterstützung bedanken. Die Aktion wird von der Stadt Offenburg in Zusammenarbeit mit der Wärmeversorgung Offenburg im Rahmen

des Baustellenmarketings für die Geschäfte im Umbaubereich Steinstraße organisiert. Die Osterschokolade wird an Gründonnerstag, 17. April, und Ostersamstag, 19. April, ausgegeben, solange der Vorrat reicht.

Teilnehmende Unternehmen: Steinstraße: Butlers, Geers Hörgeräte, Die Goldgalerie, vom Fass, Fielmann, Apollo Optik, Freenet Shop Offenburg, Prinz Friseur, Metzgerei Vogt, Barbarino, Amica Parfümerie Niendorf, Juwelier Stickel, Nanu-Nana, Vorwerk Store, Abele Optik und bystyle Friseure. Fischmarkt: Hörgeräte Friederichs, S1 Mode und Orovivo.

Die Malteser in Offenburg sind auf der Suche nach Unterstützung: Spielzeitbetreuer/in (m/w/d) für das „Offenburger Modell“ am Standort Offenburg in Minijob oder Teilzeit

 Qualifikation: Quereinsteiger ohne Qualifikation

Das bieten wir:

 Tarifliche Vergütung nach AVR-Caritas

 Arbeitgeberfinanzierten Altersvorsorge

 30 Tage Urlaub

Würde kennt kein Alter

Im Rahmen der Internationalen Wochen gegen Rassismus fand Ende März in der Begegnungsstätte der Seniorenwohnanlage der AWO eine Aktion unter dem Motto „Würde kennt kein Alter und Geschlecht“ statt. Die Veranstaltung bot ein vielseitiges Programm: Ein Höhepunkt war die beeindruckende Aufführung der Tanzgruppe „ManyMoons Collective – Transkultureller Tanz in Offenburg“. Zudem wurden Fotografien ausgestellt sowie Gemälde von Seniorinnen, die sie gemeinsam mit der Kunsttherapeutin Martina Gehrke gestaltet hatten. Foto v.r.: Anette Müll-Jundt (Vita Tertia), Anne Higel (AWO) und Angelika Leben (SFZ Albersbösch).

Foto: Stadt Offenburg

FAH RE N UN D

SPA REN !

Das ãEiner-TicketÒ fŸr 1,80 Euro und als 4-Karte nur 5 Euro.

Wo ist mein Bus? App download: ANZEIGE

 Weihnachtsgeld, Urlaubsgeld und Kinderzulage

 Eine interne Qualifizierung analog Jugendleitercard

Ihre Ansprechpartnerin:

Frau N. Korpas-Knoll

 Nicole.Korpas-Knoll@malteser.org

• Ab 9.00 U hr – Sa./So./Feier tage ganztägig

• 45 Minuten gültig – für eine einfache Fahr t

• Umsteigen – in Fahrtrichtung OK

• Für alle O ffenburger Stadtteile

STADTBUS OFFENBURG Einfach Bus fahren.

Stadtbus Offenburg

Experten für wichtige Gespräche

INTEGRATION Die ehrenamtlich dolmetschenden Frauen und Männer des Sprachpools Offenburg haben bei ihrem jährlichen Treffen das Ausländerbüro der Stadt besucht. Es ist für die im Stadtgebiet von Offenburg wohnenden Personen mit ausländischem Pass zuständig. Leiterin Evelin Lutz erläuterte in den Räumen am HubertBurda-Platz 2 die Arbeitsweise des Ausländerbüros.

Ziel des jährlichen Treffens der Dolmetschenden ist ein Erfahrungsaustausch und die Beantwortung offener Fragen. Das Treffen wird vom Caritasverband Vordere Ortenau organisiert. Heike Huber und Andreas Hillebrandt vom Caritasverband begleiteten die Mitglieder des Sprachpools nach der Besichtigung des Ausländerbüros ins Billet’schen Schlösschen als Teil des Stadtteil- und Familienzentrums Innenstadt.

Teilnehmende gesucht

Der Sprachpool Offenburg besteht aus engagierten Menschen. Ihr Jahrestreffen organisierte Heike Huber (sitzend r.) vom Caritasverband Vordere Ortenau. Die Gruppe schaute sich im Ausländerbüro der Stadt Offenburg unter Leitung von Evelin Lutz (hinten, 4. v.r.) um. Foto: Caritas

Dolmetschenden müssen von Behörden, Beratungsstellen, Schulen oder Kindergärten angefordert werden.

dabei um Landsleute, die ihre Hilfe auch im Alltag in Anspruch nehmen würden. Dazu wird eine Schulung „Grenzen setzen“ angeboten. Sprachbarrieren gibt es auch im Ortenau Klinikum Offenburg immer wieder. Kürzlich erreichte den Sprachpool eine dringende Anfrage zur Übersetzung eines Gesprächs mit einer Person, die an Diabetes erkrankt ist und kein Deutsch versteht. Die Aufwandsentschädigung für die Übersetzung wurde in diesem Fall vom Förderverein des Klinikums getragen.

Wichtig zu wissen

Der Sprachpool Offenburg wurde 2016 von der Stadt Offenburg, dem Caritasverband OffenburgKehl und dem Diakonischen Werk im evangelischen Kirchenbezirk Ortenau gegründet. Ihm gehören Menschen an, die gut Deutsch sprechen und ebenso Sprachen wie Arabisch, Ukrainisch oder Russisch, Türkisch, Kurdisch oder Polnisch. Sie sind gut in Englisch oder Französisch oder können Serbisch, Kroatisch oder Chinesisch. Der Sprachpool möchte weitere ehrenamtliche Übersetzer*innen aufnehmen. Besonders willkommen sind Menschen, die neben Deutsch Albanisch, Bulgarisch, Griechisch, Italienisch, Slowenisch oder Ungarisch sprechen. Kontakt:sprachpool@caritasvorort.de oder Telefon 0781/79010. 26 Menschen arbeiten ehrenamtlich im Sprachpool Offenburg/Weitere

26 Männer und Frauen aus vielen Ländern der Erde nahmen an dem Treffen teil. Sie leben in der Region und sprechen neben Deutsch auch sehr gut eine oder mehrere andere Sprachen. Im Sprachpool stellen sie sich ehrenamtlich als Dolmetschende zur Verfügung. Sie nehmen an wichtigen Gesprächen von Menschen teil, die die deutsche Sprache nicht oder nicht gut verstehen und sprechen. Die Einsätze der insgesamt 60

Für einen Einsatz bis zu eineinhalb Stunden bekommen die Dolmetschenden eine Aufwandsentschädigung von 15 Euro. Warum dieser Betrag seit neun Jahren gleich ist? Andreas Hillebrandt, Fachbereichsleiter für die Beratenden Dienste des Caritasverbandes, erläuterte, dass die Kommunen die Aufwandsentschädigung bezahlen

und es im Ortenaukreis sechs Dolmetscherpools gibt. Eine Erhöhung der Aufwandsentschädigung müsste einheitlich für alle erfolgen. Bisher habe man keine Einigung erzielt.

Der Sprachpool deckt Einsätze in Offenburg sowie in Gengenbach, Ohlsbach, Ortenberg und Berghaupten ab. Er hatte 2024 mehr als 900 Einsätze. Ein Thema ist die Abgrenzung zu den Menschen, denen bei wichtigen Gesprächen geholfen wird. Oft handelt es sich

Auslobung: beispielhaftes Wohnen im Ortenaukreis

In Zusammenarbeit mit dem Landratsamt Ortenaukreis lobt die Architektenkammer BadenWürttemberg das Auszeichnungsverfahren „Beispielhaftes Bauen Ortenaukreis 2020 –2025“ aus; Schirmherr ist Landrat Thorsten Erny. Gesucht sind realisierte Objekte aus den Bereichen Wohnen, Wohnumfeld, öffentliche Bauten, Industrieund Gewerbebauten, Gartenund Parkanlagen, Innenraumgestaltungen sowie städtebauliche Projekte. Auch Umbauten und Umnutzungen gehören dazu. „Die Ortenau hat architektonisch eine Menge zu bieten. Ich freue mich auf viele spannende Einreichungen, die mit guten Ideen und ihrem Vorbildcharakter Impulse für die Baukultur in

unserer Region setzen. Solche Projekte zeigen, wie Architektur unser Zusammenleben positiv beeinflussen kann“, sagt Landrat Thorsten Erny. Eine Auszeichnung erhalten solche Einreichungen, die beispielgebend für die Architektur und Stadtgestaltung in unserem Alltag sind; die Positives für das Wohlbefinden und das Zusammenleben von Menschen leisten. Das können gleichermaßen ein öffentlicher Platz oder Garten sein wie eine Schule oder Scheune – also keineswegs nur spektakuläre Großprojekte. Das Ziel des Auszeichnungsverfahrens ist, beispielhafte Architektur aufzuspüren und ihr ein Forum zu bieten. Denn zahlreiche Bauten, die sonst unbeachtet

blieben, haben den Blick der Öffentlichkeit verdient. Zur Teilnahme sind alle Bauherrinnen und Bauherren eingeladen, die gemeinsam mit einer Architektin oder einem Architekten gebaut haben. Aber auch alle Kammermitglieder – aus den Bereichen Architektur, Innenarchitektur, Landschaftsarchitektur oder Stadtplanung – sind zur Einreichung aufgefordert. Unabhängig davon, wer die Initiative ergreift: Die Auszeichnung geht an beide Partner. Denn Baukultur kann nur dort entstehen, wo sich Bauherrschaft und Planende gemeinsam für eine umweltgerechte und vor allem am Menschen orientierte Lösung der Bauaufgabe engagieren.

Die prämierten Objekte werden im Internet (www.akbw.de/objekte), in der App Architekturführer Baden-Württemberg und einer Broschüre umfangreich dokumentiert. Zudem erhalten die Bauherrinnen und Bauherren sowie Architektinnen und Architekten im Rahmen einer Feierstunde Urkunden überreicht, auch eine Plakette zur Befestigung am Bauwerk gehört zur Auszeichnung. Das letzte Verfahren „Beispielhaftes Bauen“ im Ortenaukreis fand 2020 statt. 25 Objekte erhielten damals eine Prämierung. Die Einreichungsfrist läuft bis zum 11. Juni, detaillierte Auslobungsunterlagen finden sich unter www.akbw.de/ azv-ausschreibungen/.

ÖFFENTLICHE BEKANNTMACHUNGEN UND AUSSCHREIBUNGEN

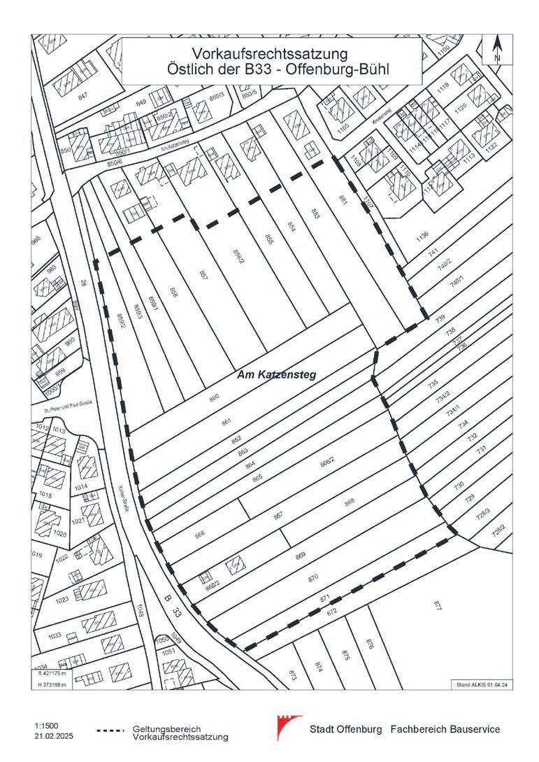
Aufgrund des § 25 Abs. 1 Satz 1 Nr. 2 des Baugesetzbuches (BauGB) in der Fassung der Bekanntmachung vom 3. November 2017 (BGBl. I S. 3634), zuletzt geändert durch Artikel 3 des Gesetzes vom 20. Dezember 2023 (BGBI. 2023 I Nr. 394) in Verbindung mit § 4 der Gemeindeordnung für Baden-Württemberg in der Fassung vom 24.7.2000 (GBl. 2000, 581, ber. S. 698), zuletzt geändert durch Artikel 1 des Gesetzes vom 12. November 2024 (GBl. 2024 Nr. 98) hat der Gemeinderat der Stadt Offenburg am 7.4.2025 folgende Satzung beschlossen:

Satzung

über das besondere Vorkaufsrecht (Vorkaufsrechtssatzung) für den Geltungsbereich des künftigen Bebauungsplans „Östlich der B33“ in Offenburg-Bühl

§ 1

Zweck der Satzung

Im Bereich „Östlich der B33“ in dem unter § 2 genannten Gebiet werden städtebauliche Entwicklungsmaßnahmen in Betracht gezogen. Zur Sicherung einer geordneten städtebaulichen Entwicklung in diesem Bereich erlässt die Stadt Offenburg für den unter § 2 benannten Bereich eine Vorkaufssatzung.

§ 2 Geltungsbereich

1. Der räumliche Geltungsbereich dieser Satzung umfasst die folgenden Flurstücke und Flurstücksteilflächen der Gemarkung Offenburg-Bühl: 851 (Teilfläche), 853 (Teilfläche), 854 (Teilfläche), 855 (Teilfläche), 856/2 (Teilfläche), 857 (Teilfläche), 858 (Teilfläche), 859/1 (Teilfläche), 859/3 (Teilfläche), 859/2 (Teilflläche), 860, 861, 862, 863, 864, 865, 866, 866/2, 867, 868, 868/2, 869, 870 und 871.

2. Der räumliche Geltungsbereich ist in dem anliegenden Lageplan „Östlich der B33“ vom 21.2.2025 (Maßstab 1:1500) durch eine unterbrochene schwarze Linie (_ _ _) umgrenzt. Der Lageplan „Östlich der B33“ vom 21.2.2025 ist Bestandteil dieser Vorkaufsrechtssatzung.

§ 3 Vorkaufsrecht

1. Im räumlichen Geltungsbereich dieser Vorkaufsrechtssatzung steht der Stadt Offenburg ein besonderes Vorkaufsrecht nach § 25 Abs. 1 Satz 1 Nr. 2 BauGB an bebauten und unbebauten Grundstücken zu.

2. Der Verkäufer eines Grundstücks im Geltungsbereich nach § 2 hat der Stadt Offenburg den Abschluss eines Kaufvertrags und dessen Inhalt unverzüglich mitzuteilen; die Mitteilung des Verkäufers wird durch die Mitteilung des Käufers ersetzt.

3. Das Grundbuchamt darf bei Kaufverträgen den Käufer als Eigentümer in das Grundbuch nur eintragen, wenn ihm die Nichtausübung oder das Nichtbestehen des Vorkaufsrechts nachgewiesen ist.

4. Werden innerhalb des Geltungsbereiches der Satzung Flurstücke aufgelöst und neue Flurstücke gebildet oder entstehen durch Grundstücksteilungen neue Flurstücke, sind auf diese insoweit die Bestimmungen dieser Satzung ebenfalls anzuwenden.

§ 4 Inkrafttreten

Diese Satzung tritt am Tage nach ihrer Bekanntmachung in Kraft.

Offenburg, den 8.4.2025

Marco Steffens

Oberbürgermeister

Hinweise:

Hinweis zur Verletzung von Verfahrens- und Formvorschriften nach § 4 der Gemeindeordnung Baden-Württemberg (GemO):

Nach § 4 Abs. 4 GemO gilt die Satzung, sofern diese unter Verletzung von Verfahrens- oder Formvorschriften der GemO oder auf Grund der GemO zu Stande gekommen ist, ein Jahr nach der Bekanntmachung als von Anfang an gültig zu Stande gekommen.

Dies gilt nicht, wenn 1. die Vorschriften über die Öffentlichkeit der Sitzung, die Genehmigung oder die Bekanntmachung der Satzung verletzt worden sind, 2. der Bürgermeister dem Beschluss nach § 43 wegen Gesetzwidrigkeit widersprochen hat oder wenn vor Ablauf der in Satz 1 genannten Frist die Rechtsaufsichtsbehörde den Beschluss beanstandet hat oder die Verletzung der Verfahrensoder Formvorschrift gegenüber der Gemeinde unter Bezeichnung des Sachverhalts, der die Verletzung begrün. den soll, schriftlich oder elektronisch geltend gemacht worden ist.

Ist eine Verletzung nach § 4 Abs. 4 Satz 2 Nr. 2 geltend gemacht worden, so kann auch nach Ablauf der in Satz 1 genannten Frist jedermann diese Verletzung geltend machen.

Hinweis zur Verletzung von Verfahrens- und Formvorschriften nach § 215 Baugesetzbuch (BauGB) i. V. m. § 214 Baugesetzbuch (BauGB):

Gemäß § 215 Abs. 1 BauGB werden unbeachtlich 1. eine etwaige Verletzung von in § 214 Abs. 1 Satz 1 Nr. 3 BauGB bezeichneten Verfahrens- und Formvorschriften und 2. nach § 214 Abs. 3 Satz 2 beachtliche Mängel des Abwägungsvorgangs beim Zustandekommen dieser Satzung, wenn sie nicht innerhalb eines Jahres seit dieser Bekanntmachung schriftlich gegenüber der Gemeinde geltend gemacht worden ist. Der Sachverhalt, der die Verletzung oder den Mangel begründen soll, ist darzulegen.

Die Satzung über das besondere Vorkaufsrecht ist ebenfalls auf der Internetseite der Stadt Offenburg veröffentlicht.

DU MACHST DEN UNTERSCHIED!

Alles, was wir als Mitarbeitende der Stadt Offenburg tun, hinterlässt Spuren bei den 62.000 Bürger*innen, für die wir arbeiten. Damit wir dies auch weiterhin tun können, suchen wir Menschen, die bereit sind, mit uns als Arbeitgeberin zusammen Spuren zu hinterlassen. Denn es macht für die Menschen, die hier leben, einen Unterschied, ob wir unseren Job machen – oder eben nicht.

JETZT BEWERBEN: karriere.offenburg.de

WERDE AUCH DU SPURENHINTERLASSER (M/W/D)!

 ALS REFERENT*IN WIRTSCHAFTSFÖRDERUNG IM FACHBEREICH WIRTSCHAFT UND STADTENTWICKLUNG

 ALS BAUZEICHNER*IN ARCHITEKTUR IM FACHBEREICH HOCHBAU, GRÜNFLÄCHEN UND UMWELTSCHUTZ ...

 ALS OBJEKTBETREUER*IN UNSERER KOMMUNALEN UNTERBRINGUNG IM FACHBEREICH BÜRGERSERVICE

 ALS MITARBEITER*IN DER ABTEILUNG STRASSENBAU FÜR UNSERE TECHNISCHEN BETRIEBE OFFENBURG

 ALS SCHULSEKRETÄR*IN IM FACHBEREICH FAMILIEN, SCHULEN UND SOZIALES

 ALS SPRACHEXPERT*INNEN FÜR DIE KINDERTAGESSTÄTTEN AM KINDERCAMPUS ZUNSWEIER ODER IM STADTTEIL- UND FAMILIENZENTRUM INNENSTADT …

... MACHST DU DEN UNTERSCHIED FÜR DIE OFFENBURGERINNEN UND OFFENBURGER.

MACH JETZT DEN UNTERSCHIED FÜR DIE BÜRGER*INNEN IN OFFENBURG! BEWIRB DICH JETZT: karriere.offenburg.de

Doppelte Freude

Zum

Seepferdchen-Abzeichen gibt 's

Grund zum doppelten Strahlen haben künftig alle Kinder, die ihre erste Schwimmprüfung, das „Seepferdchen“, im Freizeitbad Stegermatt erfolgreich ablegen. Denn dann gibt es nicht nur das begehrte Seepferdchen-Abzeichen für den Bikini oder die Badehose, sondern ab sofort auch einen Gutschein für einen Tageseintritt ins Kiddy Dome, Indoor-Spielplatz in Schutterwald.

„Als die Verantwortlichen des Kiddy Dome mit der Idee auf mich zukamen, nach erfolgreicher Ablegung des Seepferdchens die Kinder mit einem Tagesgutschein für den IndoorSpielplatz zu belohnen, war ich gleich begeistert“, freute sich Bad-Geschäftsführer Tim-Niklas Hockenjos. Die Kooperation

ANZEIGE

Bestattungsinstitut

einen Kiddy Dome-Tagesgutschein

zwischen den beiden Einrichtungen soll zunächst für dieses Jahr gelten. Um das Seepferdchen abzulegen, kann während des Besuchs im Freizeitbad das Badpersonal angesprochen werden. „Abhängig vom Gästeaufkommen

Telleffonisch T Tag und Naachht erreichhbarr, a auuch a an Sonn- u und F Feiertaagen GmbH

Ebeerrtplatz z 1 19, 7 77654 Offfennburg g 0781 42322

Spiießgasse 1 7 77694 K Kehhl 07851 2 2283

Ihr A Annsprrechpaartner seit 1987

☎ www w b besstattungen-kiechle de

ehm B Bestattungsinstitut K Klein

Anzeigenverkauf

Maritta Herrrmann

werbung.offenblatt@ der-guller.de

Telefon 0781 / 93 40 -162

www.offenblatt.de

www.offenblatt.de

Wirkaufen Wohnmobile +Wohnwagen 03944 -36160 www.wm-aw.de (Fa.)

Olivia Brandenburger

Ihre Immobilie ist gefragter als Sie ahnen

GUTSCHEIN

für eine unverbindliche und marktgerechte Bewer tung Ihrer Immobilie

OR TE NA U

T +49 (0)781 93 99 97 00

Kreuzkirchstr 11 | 77652 Offenburg engelvoelkers.com/ortenau

ist dies dann meist sofort möglich“, spricht Hockenjos aus Erfahrung. Das Abzeichen erhält, wer vom Beckenrand ins Wasser springt, 25 Meter in Bauchoder Rückenlage schwimmt und einen Gegenstand aus schultertiefem Wasser heraufholt.

Vive la France

Am Donnerstag, 24. April, informiert ein französischer Berufsberater aus Straßburg im BiZ der Agentur für Arbeit in persönlichen Gesprächen von 10 bis 16 Uhr über Ausbildungsund Studienmöglichkeiten in Frankreich. Es besteht auch die Möglichkeit zu einem Gespräch per Telefon oder Videocall (zirka 45 Minuten). Schüler*innen können einen kostenlosen Beratungstermin über das BIZ Offenburg vereinbaren: Telefon 0781/93 93-247 oder über offenburg.biz@arbeitsagentur.de.

Livemusik

Sechs Bands werden an sechs Plätzen in der Innenstadt am Freitag, 25. April, von 16 bis 20 Uhr auftreten – zu hören sind sie am Marktplatz, am Neptunbrunnen, im Reé Carré, auf dem Lindenplatz, vor der Sichtbar und in der Steinstraße.

Immobilien-Teilverkauf

Schnell an Kapitalkom menohne IhrZuhausezuverkaufen!

SiebesitzeneineImmobilie? Dann nutzen Siesie fürmehrfinanzielle Freiheit!Obfür Ihre Familie, eineRenovierung oder einfach mehrLiquidität- miteinem Immobilien-Teilverkaufsichern Sie sich Kapital, ohne ausziehenzumüssen!

• Kein kompletter Verkauf

• KeineSchuldenoderKredite

• Sofort Kapitalauf demKonto!

• Eigentum &Wohnrecht bleibenerhalten!

Wart en Si enicht -nut zenSie ihre Immobili eJET ZT fürm eh rfin anzi elle Freiheit!S ofortanruf en: 0171-8533270; Mail: a.huberimmobilie@gmx.de

Zusammen mit unserem Holzofen-Baguette - ein Genuss!

Tim-Niklas Hockenjos, Anna-Lena Kiesewetter und Svenja Braun (beide von Kiddy Dome), Martin Stern (Leitung Badeaufsicht & Sauna) Foto: OBB GmbH

Turn static files into dynamic content formats.

Create a flipbook
Issuu converts static files into: digital portfolios, online yearbooks, online catalogs, digital photo albums and more. Sign up and create your flipbook.