1. Ogólne zasady trasowania dróg
Auberlena Kleina
Grabowskiego
Bernoulliego
Grabowskiego
Kobrynia

18 1.Ogólne zasady trasowania dróg
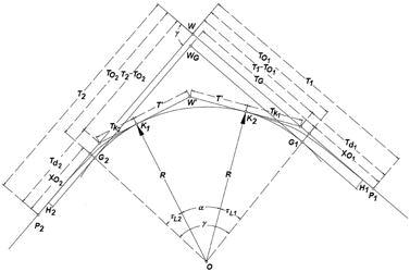
Rys. 1.3.

1.Ogólne zasady trasowania dróg 19
Rys. 1.4.
20 1.Ogólne zasady trasowania dróg

Rys. 3.3.

Rys. 3.4.

Rys. 14.1.