
www.lifeplaza.net.vn
T. 0901795475
E. an9559@naver.com


www.lifeplaza.net.vn
T.
E. an9559@naver.com



논란… BBC 최고경영
엘니뇨 없이도, 2025년은 역대

BBC의 최고경영자 팀 데이비(Tim Davie)와 뉴스 총괄 데보라 터니스 (Deborah Turness)가 11월 9일 나
란히 사임했다. 이는 BBC가 도널드
트럼프 전 미국 대통령의 연설을 왜
곡 편집했다는 비판이 확산된 데 따
른 조치다.
논란은 영국 일간 텔레그래프가 공
개한 내부 문서에서 비롯됐다. 전
보좌관 마이클 프레스콧(Michael Prescott)은 BBC가 트럼프 관련 다
큐멘터리 “Panorama: Trump – A Second Chance?” 에서 “심각하고
체계적인 편향”을 보였다고 지적했
다. 다큐는 트럼프 연설의 50분 간격
발언을 이어 붙여, 마치 그가 지지자
들에게 “의사당으로 가서 싸우라”고
촉구한 것처럼 보이게 했다.
데이비 사장은 사임 성명에서 “5년간
의 임기를 마무리하며 모든 책임은
나에게 있다”고 밝혔다. 터니스 BBC
뉴스 총괄도 “논란이 BBC의 신뢰에
타격을 줬다”며 자진 사퇴 의사를 밝 혔다.
트럼프 전 대통령은 SNS 트루스 소
셜에 “BBC 수뇌부가 내 ‘완벽한 연
설’을 조작한 사실이 드러나 사임했
다”고 주장하며 텔레그래프 보도에
감사를 표했다.
BBC는 이번 사건과 관련해 11월 10
일 공식 사과문을 발표할 예정이다.
문제의 다큐멘터리는 2024년 미국
대선을 앞두고 방영됐으며, 공정성
논란으로 비판을 받고 있다.
https://vtcnews.vn/lanh-daobbc-tu-chuc-sau-be-boi-chinhsua-phat-bieu-cua-ong-trumpar986279.html
라이프플라자/오픈대 인턴 기자 자
록 – 번역

세계기상기구(WMO) 최신 보고서
에 따르면,엘니뇨 현상이 없음에도
불구하고, 2025년은 현재 약한 라니
냐 상태에 있다.그럼에도 불구하고
1월부터 8월까지의 지표면 근처 평
균 기온은 산업화 이전 평균보다 약
0.12~1.42℃ 높게 나타났다.이로 인
해 2025년은 관측 역사상 두 번째로
더운 해가 되고 있다.
지속되는 지구 온난화는 기후 및 날
씨의 극단적인 현상을 초래하고 있
다.
집중호우와 대규모 홍수, 반대로 기
록적인 폭염과 산불이 빈발하고 있
다.
이러한 현상은 여러 지역에서 이주
사태를 촉발시키고, 각국 경제에 막
대한 피해를 주며, 지속가능한 발전
을 약화시키는 한편 회복 불가능한
손실을 야기하고 있다.
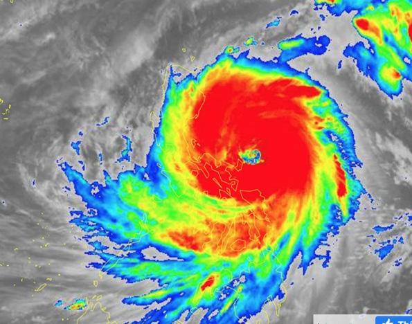
베트남과 동남아시아에서도 이러한 변화가 뚜렷하게 나타나고 있다. 11 월 초, ‘죽음의 태풍’으로 불린 매우 강한 태풍 **깔마에기(Kalmaegi)** 가 지나간 직후, 초강력 태풍 **퐁퐁 (Fung Wong)**이 서북태평양 해상 에서 새롭게 발생했다. 최근 이처럼 초강력 태풍이 잇따라 발생하는 이유로는 기후변화로 인한 전 지구적 온난화가 지목된다. 서북 태평양과 남중국해(동해남쪽) 모두에 서 해수면 온도가 비정상적으로 상승 하고 있기 때문이다. https://thanhnien.vn/khong-coel-nino-nam-2025-van-nong-thu2-lich-su-18525110921040637. htm
라이프플라자/오픈대


11월 10일 오전, 하노이에서 “우주를 향한 열망 - 베트남 학생들, 새로운 하
늘을 정복하는 여정”이라는 주제로 항공우주 기술 분야 학생 과학 심포지엄
이 열렸다.
이 행사는 베트남 학생회 중앙위원회의 지시에 따라 하노이시 베트남 학생
회와 영국·이탈리아 주재 베트남 학생회가 하노이 국립대학교와 협력하여
공동 주최했다.
심포지엄에서 럼 뚱(Lâm Tùng) 베트남 학생회 중앙위원회 상임 부회장은
최근 중앙 학생회가 당과 국가의 주요 방침을 철저히 준수했으며, 모든 단계
의 학생회에 실질적이고 전략적인 여러 해결책을 시행하도록 직접 지시했다
고 밝혔다.
학생들의 조국에 대한 사명과 책임 최근 항공우주 기술은 베트남의 11개 전략 기술 그룹 중 하나로 확정되었으 며, 주요 3가지 제품군을 중심으로 개발되고 있다.
1. 저궤도 원격 탐사 및 통신 위성
2. 지상국 및 위성 제어 시스템
3. 무인 항공기 https://thanhnien.vn/su-menh-cua-nhung-sinh-vien-dan-thannghien-cuu-ve-hang-khong-vu-tru-185251110112227515.htm

태풍의 ‘연료(동력)’ 과학자들은 원칙적으로 해수면 온도가 따뜻해지면 증발 과정이 빨라지고, 열대 저기압에 더 많은 ‘연료(동력)’가 축적된다고 분석한다.
싱가포르 국립대학교의 지안마르코 멩갈도(Gianmarco Mengaldo) 전문 가는 “기후 변화는 주로 해양 표면 온도를 높이고 대기의 습도를 증가시켜
태풍의 강도를 강화시킨다”고 밝혔다.
그는 “이것이 모든 태풍이 더 강해진다는 것을 의미하지는 않지만, 더 따뜻 한 기후 조건에서는 더 많은 강우량과 더 강한 바람을 동반하는 강력한 태풍 의 발생 가능성이 증가할 것”이라고 덧붙였다.
9월에 발생했던 ‘태풍 라가사(Ragasa)’에 대한 기후 변화의 역할을 연구한 논문의 공동 저자인 멩갈도 전문가는 데이터상 열대성 태풍이 더 자주 발생 하지는 않더라도, 강력한 태풍의 수는 증가하고 있다고 지적했다.
싱가포르 난양 기술대학교의 드루바조티 사만타(Dhrubajyoti Samanta) 기후 과학자는 비록 연간 총 태풍 발생 횟수가 크게 증가하지 않더라도, 계 절적 영향 범위와 실제적인 충격 가능성은 증가할 수 있다고 내다봤다. http://thanhnien.vn/nguyen-nhan-mua-bao-tro-nen-du-doi-vachet-choc-hon-o-dong-nam-a-185251110111515656.htm

라이프 플라자 데일리 뉴스
캄보디아의 피로 물든 들판에서, 40명 대 대 중 유일하게 기적적으로 살아남은 병사

후인 반 차우 씨를 찾는 일은 쉽지
않았다. 우리는 세 달 동안 부상자 명
단과 오래된 문서를 뒤지고 수많은
전화를 걸며 그의 흔적을 좇았다. 결
국 빈즈엉성 터엉탄의 고무숲 속 작
은 집에서, 머리가 희끗한 한 노인을
만났다. 그는 바로 1986년 캄보디아
의 피로 물든 전장에서 40명 중 유일
하게 살아남은 병사였다.
그 치열한 전투는 1986년 11월 29일
새벽, 제5사단 제4연대 제3대대 13중
대가 루옹비엔 강을 건너 씨엠립 방
향으로 진격하던 중 벌어졌다. 당시
52명 중 40명이 전선으로 들어갔고,
대부분은 짧은 교전 안에 전사했다.
평온해 보이던 들판은 곧 수백 명의
폴 포트 군이 매복한 함정이었다.
불과 10분 만에 들판은 화염과 피로
뒤덮였다. 포성과 비명이 뒤섞이고,
연기와 화약 냄새가 하늘을 메웠다.
그 속에서 차우 씨만이 숨을 붙였다.
그는 온몸이 파편으로 뒤덮인 채 시
신 더미 속에 엎드려 죽은 척했다. 폴
포트 군은 시신 하나하나의 머리에
총을 쏘아 확인했지만, 그는 기적적
으로 살아남았다.
해가 저물자 그는 적군의 옷을 입고
숲속을 빠져나왔다. 캄보디아어를 구
사할 줄 알았던 그는 자신을 폴 포트
병사로 위장하며 베트남군 진영으로
향했다. 긴 밤을 헤맨 끝에 그는 베트
남 정찰조와 마주쳤고, “쏘지 마라! 나
는 13중대의 차우다!”라고 외쳤다.
부상이 심했지만, 그는 다음 날 전우
들의 시신을 수습하러 다시 전장으로
돌아갔다. 39명의 베트남 병사는 한
데 쌓여 있었고, 그 아래에는 지뢰가
설치되어 있었다. 그는 “사실 그때는
시신이 40구였다. 폴 포트 병사 한 명
이 섞여 있었고, 그들이 나로 착각했
다”고 회상했다.
이후 차우 씨는 제5사단 지휘관의 권
유에도 불구하고 복귀를 선택했다. “
그들에게 아직 빚이 있다”는 말과 함 께 그는 62mm 박격포 분대장으로
다시 전투에 투입되었다.
현재 그는 터엉탄의 작은 집에서 조용 히 살고 있다. 가끔 캄보디아로 돌아
가 전우들이 잠든 곳을 찾아 향을 피 운다. 그는 말했다. “지금도 왜 내가
나의 임무는 그들의 이야기를 세상에
전하는 것일 겁니다.”
https://vtcnews.vn/nguoi-linhduy-nhat-song-sot-dieu-ky-cuadai-doi-40-nguoi-giua-canhdong-mau-campuchia-ar986234. html


라이프 플라자 데일리 뉴스
윤석열 전 대통령,
‘고의적 대북 도발’ 혐의 피소

검찰 대변인은 윤석열 전 대통령이
남북 간 군사 충돌을 고의로 도발하
여 계엄령 선포의 구실을 찾으려 했
다고 밝혔다. 검찰은 윤 전 대통령과
군 지휘관들이 긴장 고조 및 계엄령
선포 결정 정당화를 목적으로 북한
영토에 비밀 무인기(드론) 작전을 수
행하도록 명령했는지 고발한다.
내부 메모에 따르면, 윤 전 대통령은
김용현 전 국방부 장관, 여인형 전 군
정보국장과 함께 계엄령 선포를 위한
유리한 환경을 조성하기 위해 북한의
한국 공격을 유도하는 계획을 수립한
것으로 알려졌다.
대변인은 이 세 사람이 국내 긴장을
조성함으로써 윤 전 대통령이 계엄령
을 선포할 “여건”을 마련하고자 했는
지 강조했다.
군 관계자의 휴대전화에서 “무인기( 드론)”와 “외과 수술식 공격”과 같은
키워드가 추출된 증거가 확보되었으
며, 이 정보는 대북 도발 가능성을 시
사하고 있는가.
김용현 전 국방부 장관과 여인형 전
군 정보국장 또한 이와 유사한 추가
혐의로 함께 기소되었다.
윤 전 대통령과 김 전 장관은 국익을
해칠 목적의 계엄령 선포 주장을 부
인한다. 반면, 여인형 전 군 정보국장
은 전 대통령의 명령에 반대하지 않
은 것에 대해 “매우 후회한다”고 인
정했다. 그러나 검찰 대변인은 휴대
전화 메모에 대한 그의 해명이 불합
리하다고 지적한다.
앞서 한국 헌법재판소는 지난 4월 윤
전 대통령을 파면했으며, 그는 현재
내란죄로 재판을 받고 있다. 유죄 판
결이 확정될 경우, 전 대통령은 사형
에 처해질 수 있다.
지난해 10월, 북한은 한국이 대북 전
단 살포를 위해 무인기를 보냈다고
비난하며 추락한 한국 군용 무인기
잔해 사진을 공개했다. 당시 한국 측
은 이 정보에 대한 확인을 거부한 바
있다.
Cựu Tổng thống Hàn Quốc Yoon
Suk-yeol bị cáo buộc cố ý khiêu
khích Triều Tiên
라이프플라자/오픈대 인턴 기자 로
안 – 번역


라이프 플라자 데일리 뉴스
태국을 제치고 중국인 관광객의
최우선 여행지로 부상

일본 유력 매체 **닛케이 아시아 (Nikkei Asia)**는 2025년 베트남
관광이 폭발적으로 성장한 이유를 객
관적으로 분석하며, 특히 베트남이
태국을 제치고 중국인 관광객의 가
장 인기 있는 여행지가 되었다고 전
했다.
베트남은 올해 국제 관광객 2,500만
명 유치를 목표로 하고 있으며, 이는
팬데믹 이전의 기록을 훨씬 뛰어넘
는 수치다. 특히 중국인 관광객의 급
증이 주요한 원동력으로 작용하고 있 다.
시장조사기관 **BMI(Fitch Solutions 산하)**는 2025년 베트남의 외
국인 관광객 수를 2,200만 명으로 예
측했다. 이는 2019년의 최고 기록인 1,800만 명을 넘어서는 수치로, 베트
남 관광 산업이 팬데믹 피해에서 사
실상 완전히 회복될 것임을 의미한 다.
이 같은 성장의 주요 이유 중 하나는
베트남의 정치적 안정성이다. 반면,
이웃 국가인 태국과 캄보디아 간의
국경 분쟁은 여전히 해결되지 않았
고, 인도네시아의 시위 사태는 발발
소했다.
한편, 영화와 음악 콘텐츠를 통해 베
트남의 문화와 풍경이 전 세계적으
로 주목받고 있다. 넷플릭스의〈A
Tourist’s Guide to Love〉, 볼리우
드의〈Love in Vietnam〉, 그리고
베트남 가수들의 유튜브 영상 등은
해외 관광객의 관심을 크게 끌었다.
베트남의 대형 기업들도 이러한 추세
를 적극 활용하고 있다. 사이공투어
리스트(Saigontourist), 빈펄(Vinpearl, 빈그룹 산하) 등은 베트남의
인기를 기반으로 관광객 유치를 확
대하고 있으며, 특히 **썬그룹(Sun Group)**은 최근 푸꾸옥 섬 관광에 특화된 자체 항공사를 설립해 주목 을 받고 있다.
https://thanhnien.vn/viet-namvuot-thai-lan-tro-thanh-diem-den-hang-dau-cua-khachtrung-quoc-18525111011295036. htm
라이프플라자/오픈대 인턴 기자 아 인 – 번역
후 두 달 넘게 이어지고 있다.
또한 베트남 정부는 12개국에 대한
무비자 체류 기간을 연장하여 관광
활성화를 지원하고 있다. 관광객들은
베트남의 다양한 음식 문화, 전쟁 역 사, 에메랄드빛 섬들, 그리고 세계 최
대 규모의 동굴 탐험 등을 즐기기 위
해 방문하고 있다.
BMI의 부국장 **브랜든 므시망가 (Brandon Msimanga)**는 닛케
이 아시아와의 인터뷰에서 “베트남
은 현재 중국인 관광객에게 가장 인
기 있는 여행지로 떠올랐다”며 “중국
인들은 안전 문제로 인해 태국 여행
을 피하고 있으며, 지출에도 더 신중
해졌다. 이에 따라 지리적으로 가까
운 베트남이 큰 수혜를 얻고 있다”고
설명했다.
2025년 10월 기준으로, 베트남은 총
1,700만 명의 외국인 관광객을 맞이 했으며, 그중 중국인 관광객이 400만
명으로 가장 큰 비중을 차지했다. 이
러한 변화에는 2025년 1월 태국에서
발생한 중국인 배우 납치 사건도 영 향을 미쳤다. 그 여파로 올해



라이프 플라자 데일리 뉴스
李대통령,





























