Homebook - 7709 SE 31st Ave

Page 1


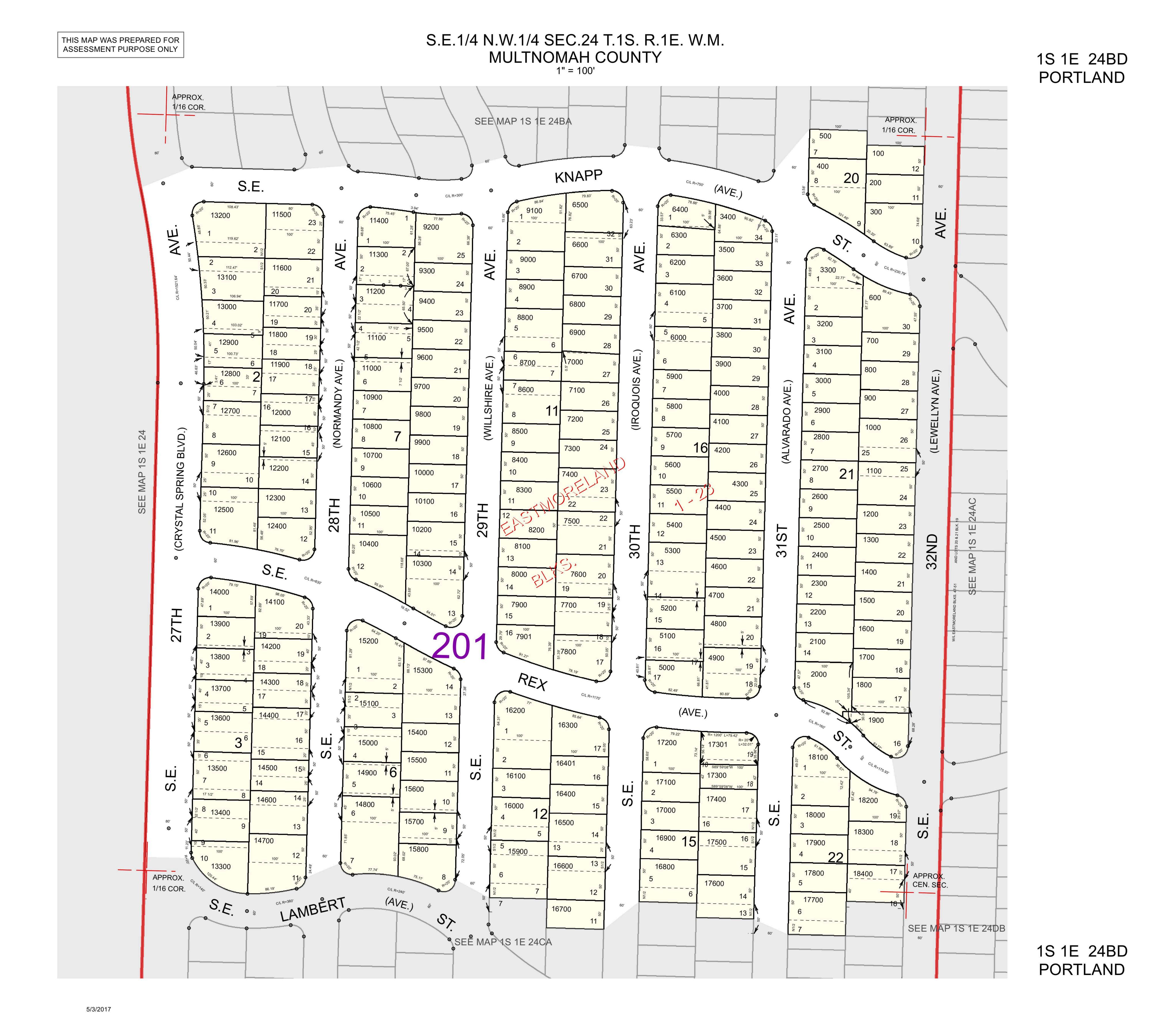
ParcelID:R152444

SentryDynamics,Inc anditscustomersmakenorepresentations, warrantiesorconditions,expressorimplied,astotheaccuracyor completenessofinformationcontainedinthisreport

ParcelID:R152444

SiteAddress:7709SE31stAve

SentryDynamics,Inc anditscustomersmakenorepresentations, warrantiesorconditions,expressorimplied,astotheaccuracyor completenessofinformationcontainedinthisreport

ParcelID:R152444

SiteAddress:7709SE31stAve

SentryDynamics,Inc anditscustomersmakenorepresentations, warrantiesorconditions,expressorimplied,astotheaccuracyor completenessofinformationcontainedinthisreport

GENERALINFORMATION

Property Status AActive

Property Type RPResidential

Legal Description EASTMORELAND,BLOCK15,N1/2OFLOT 13,LOT14

Alternate Account Number R231503260

Neighborhood RB3110 Eastmoreland

Map Number 1S1E24BD-17600

Property Use B-RESIDENTIALIMPROVED

LevyCodeArea 201

OWNERINFORMATION

Owner Name MCCALL,KEVINR&MCCALL,KARENL

Mailing Address 7709SE31STAVEPORTLAND,OR 97202-8536

RELATEDPROPERTIES

Split/Merge data prior to February 6, 2018 is not available online, please call Multnomah County Assessment & Taxation division.

Linked Properties -

Property Group ID -

Grouped Properties -

Split / Merge Date -

Split / Merge Accounts -

Split / Merge Message -

Age Distribution

Area Schools

Assigned School

Primary School: Duniway Elementary School

Middle School: Sellwood Middle School

High School: Cleveland High School

Primary School

Duniway Elementary School 1

Middle School

Sellwood Middle School 2

High School

Cleveland High School 3

Other School

1. Duniway Elementary School

Distance: 0.14 mile(s)

Address: 7700 Se Reed College Pl District: Portland Sd 1J Type: 1-Regular school

Charter: No

Title 1 Elig: 2-No Title 1: 6-Not a Title I school

2. Sellwood Middle School

Students: 409

Male / Female: 208 / 200 Distance: 1.01 mile(s)

Address: 8300 Se 15Th Ave District: Portland Sd 1J Type: 1-Regular school

Charter: No

Title 1 Elig: 2-No Title 1: 6-Not a Title I school

3. Cleveland High School

567

Levels: 6th Grade - 8th Grade

Male / Female: 294 / 262 Distance: 2 09 mile(s)

Address: 3400 Se 26Th Ave District: Portland Sd 1J

Charter: No

Title 1 Elig: 2-No Title 1: 6-Not a Title I school

Male / Female: 772 / 663

1-Regular school

1,472

Levels: 9th Grade - 12th Grade

STEPS IN A REAL ESTATE TRANSACTION

1

What is an Escrow?

THE LISTING AGREEMENT

The property owner (Seller) initiates a contract, or a listing agreement, with a licensed Real Estate Agent.

2

THE SALE

Property owner (Seller) enters into a purchase contract, typically referred to as an Earnest Money Agreement, with a Buyer.

3

ESCROW

As part of the purchase contract, Seller agrees to purchase a title insurance policy for the Buyer and both agree to close the transaction with a licensed escrow company. In Oregon, most title insurance companies also offer escrow services to facilitate a convenient “one-stop” approach to closing real estate transactions.

An escrow is a neutral third party depository for legal documents and funds necessary to complete a real estate transaction. The escrow agent will disburse funds and record documents for the proper recipients according to their written instructions.

What title insurance and escrow costs are incurred in a real estate sale?

The fee for escrow services is based on the sales price of the property. This fee is typically split equally between the Seller and Buyer. However, Buyers should check with their lenders if financing is involved because some federally insured lending programs do not allow borrowers to pay this fee. The Seller typically pays for a standard owner’s policy of title insurance which names the Buyer as the insured. Charges for this policy are based on the sales price of the property. The Buyer typically pays for a lender’s policy of title insurance and any required endorsements if s/he is obtaining a new loan to purchase the property. Charges for this policy are based on the loan amount.

What services does an escrow agent perform on behalf of the Seller and Buyer?

• Upon opening of escrow, escrow agent will order a preliminary title report, which will be sent to all interested parties involved in the transaction. The report will detail the current ownership, liens and encumbrances of the property.

• Closing statements will be prepared for each party, showing all credits and debits. The escrow agent will schedule appointments for all parties to sign their final necessary documents, including any funds needed to be deposited, to complete the transaction.

• Signed loan documents are returned to the Lender, for final review and funding approval.

• Recordable documents are released to the County Clerk’s office for recording.

• Once recorded, all funds are disbursed per written instructions.

• Final title policies are issued to the insured parties.

FROM PENDING TO SOLD

ESCROW FLOW CHART

Receive and review Earnest Money Agreement and Broker’s instructions.

Open escrow. Order title report.

Determine financing.

Information gathering from Buyer and Seller.

Receive title report. Send copies to all parties in the transaction.

Resolve any title issues. Order any payoff demands.

Review file. Are conditions satisfied? Contingencies removed?

Prepare closing statement, closing instructions and transfer deed

Obtain signatures on all escrow and loan documents. Collect any funds due from Buyer and/or Seller

Record applicable documents with the County Recorder's office.

Close file. Prepare final statements. Disburse funds.

Forward final documents to all interested parties - Buyer, Seller, Real Estate Agents, Lender, Broker, Attorney, etc.

NEW LOAN

Notify Escrow with name of new lender and loan officer.

Send title report to lender.

Notification of final loan approval. Are repairs complete?

Deliver Seller & Buyer Closing Disclosures. Buyers’ consummation 3-6 days.

Loan documents delivered to escrow.

Return loan documents for final approval to fund and record.

Order loan funds.

Turn static files into dynamic content formats.

Create a flipbook
Issuu converts static files into: digital portfolios, online yearbooks, online catalogs, digital photo albums and more. Sign up and create your flipbook.