Homebook - 7323 SW 4th Ave

Page 1


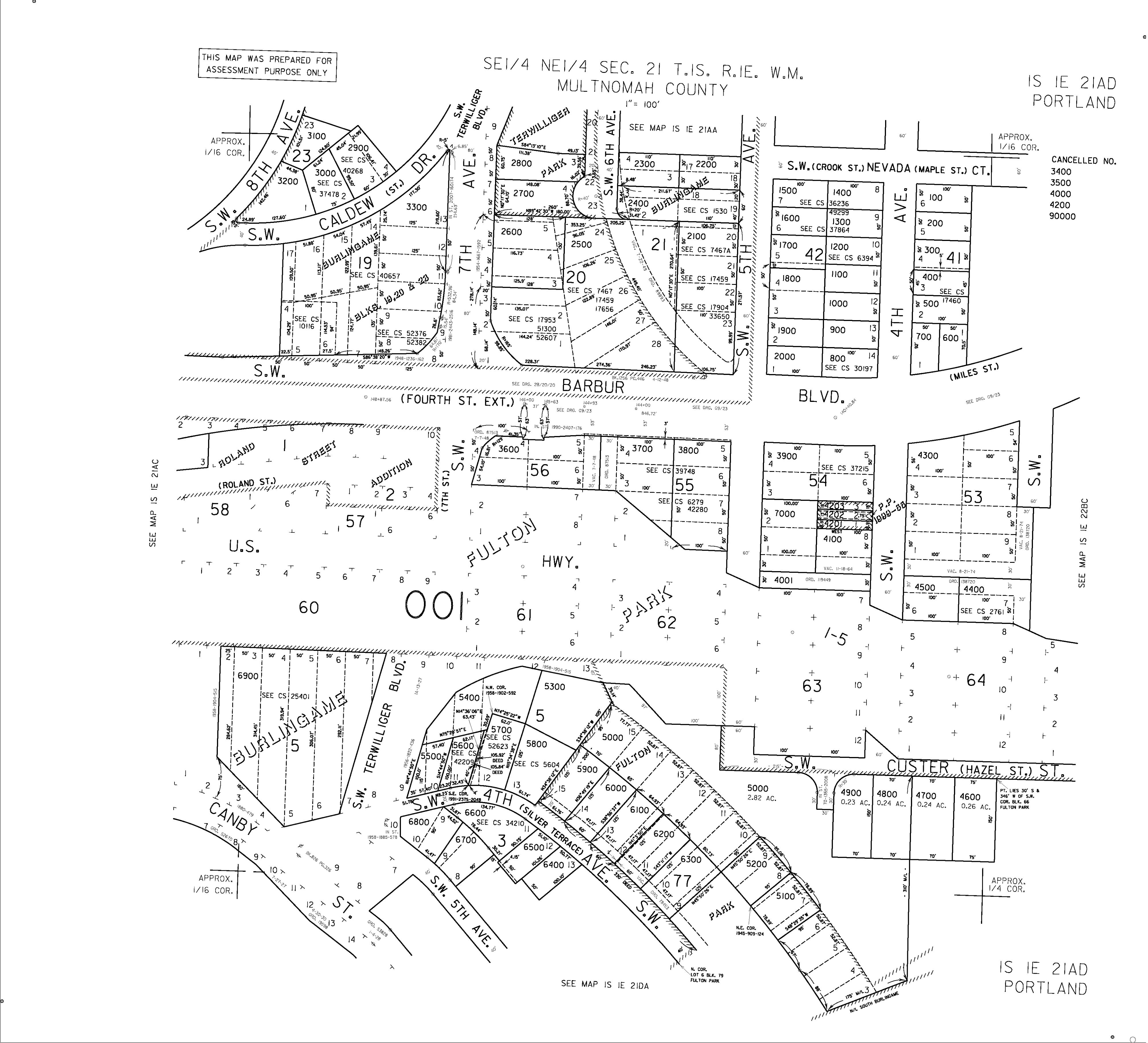
Subject Property 7323 SW 4th Ave, Portland OR 97219

County Name: Multnomah

APN / Parcel Number: R166951

Current Ownership: Jade Wollman & Adrienne Berke

Site Address: 7323 SW 4th Ave, Portland OR 97219

Mail Address: 7323 SW 4th Ave, Portland OR 97219 *Owner Occupied

Tract / Subdivision: / Fulton Pk

Census Tract / Block: 006002 / 1029

Lot / Block: 13 / 42

Twn / Rng / Sec / Qtr: 01S / 01E / 21 / NE

Brief Legal Description: FULTON PK, BLOCK 42, LOT 13

Sale Information

Sale Recording Date: 11/18/2022 Title Company: Sale Price: $526,800 Document #: 103166

Purchase Loan: $500,460 Buyer Name(s): Jade

Property Characteristics

Property Type: Single Family Residential

Property Details

Land Use: Single-Family, Residential, Improved Building Type: 1 Sty Zoning: Portland-R5 - Residential 5,000

Total SqFt: 960 Lot Size: 5,000 SqFt / 0.11 AC Year Built: 1970

Beds: 3 Basement: Units: 1

Baths: 1 Pool: Buildings:

Rooms: Ext / Roof: Wood / Built-up Heat/AC: Stories: 1 Condition: Good Fireplace: Y Garage: Att Foundation: View:

School District: Portland School District

Watershed: Columbia Slough-Willamette River

Assessment & Tax Info

Total Assessed Value: $251,470 Market Value: $493,500 Tax Year: 2024 Land Value: Market Land Value: $293,000 Tax Exemption: Improvement Value: Market Improvement: $200,500 Tax Rate Area: 001 Improvement %: 41 Tax Amount: $6,721.89

APN: R166951
Berke Wollman and Adrienne Sandra Berke

ParcelID:R166951

SentryDynamics,Inc anditscustomersmakenorepresentations, warrantiesorconditions,expressorimplied,astotheaccuracyor completenessofinformationcontainedinthisreport

ParcelID:R166951

SiteAddress:7323SW4thAve

SentryDynamics,Inc anditscustomersmakenorepresentations, warrantiesorconditions,expressorimplied,astotheaccuracyor completenessofinformationcontainedinthisreport

ParcelID:R166951

SiteAddress:7323SW4thAve

SentryDynamics,Inc anditscustomersmakenorepresentations, warrantiesorconditions,expressorimplied,astotheaccuracyor completenessofinformationcontainedinthisreport

$259,010

GENERALINFORMATION

Property Status AActive

Property Type RPResidential

Legal Description FULTONPK,BLOCK42,LOT13

Alternate Account Number R300401510

Neighborhood RB6120 Burlingame Map Number 1S1E21AD-00900

Property Use B-RESIDENTIALIMPROVED

LevyCodeArea 001

OWNERINFORMATION

Owner Name WOLLMAN,JADEB&BERKE,ADRIENNES

Mailing Address 7323SW4THAVEPORTLAND,OR97219

RELATEDPROPERTIES

Split/Merge data prior to February 6, 2018 is not available online, please call Multnomah County Assessment & Taxation division.

Linked Properties -

Property Group ID -

Grouped Properties -

Split / Merge Date -

Split / Merge Accounts -

Split / Merge Message -

IMPROVEMENTS ? Expand/Collapse All

BSD WOLLMAN,JADEB&BERKE,ADRIENNES &WOLLMAN,SETH

WD CONDORELLI,JOSEPH

QCD

CONDORELLI,JOSEPH& CONDORELLI,GLORIA

ARPPP CONDORELLI,JOSEPH& CONDORELLI,GLORIA

WD LINN,CHRISTOPHERC&KATHRYNJ

WD HASSEN,NANCYPETAL

C

WOLLMAN,JADEB&BERKE,ADRIENNES 2025002206 1/14/2025 -

WOLLMAN,JADEB&BERKE,ADRIENNES &WOLLMAN,SETH

CONDORELLI,JOSEPH

CONDORELLI,JOSEPH& CONDORELLI,GLORIA

CONDORELLI,JOSEPH& CONDORELLI,GLORIA

Eìective Date:

4/13/2012 -

Age Distribution

Assigned School

Schools

Primary School: Rieke Elementary School

Middle School: Gray Middle School

High School: Ida B. Wells-Barnett High School

Primary School

Rieke Elementary School 2

Middle School

Gray Middle School 3

High School

Ida B Wells-Barnett High School 1

Other School

1. Ida B. Wells-Barnett High School

Address: 1151 Sw Vermont St District: Portland Sd 1J

Charter: No Magnet:

Title 1 Elig: 2-No

Male / Female: 869 / 750

2. Rieke Elementary School

Title 1: 6-Not a Title I school

Address: 1405 Sw Vermont District: Portland Sd 1J

Charter: No

Title 1 Elig: 2-No

Male / Female: 149 / 139

3. Gray Middle School

Title 1: 6-Not a Title I school

Address: 5505 Sw 23Rd Ave District: Portland Sd 1J

Charter: No

Title 1 Elig: 2-No

Male / Female: 246 / 221

Title 1: 6-Not a Title I school

Distance: 0.54 mile(s)

Type: 1-Regular school

Students: 1,650

Grade Levels: 9th Grade - 12th Grade

Distance: 0 68 mile(s)

Type: 1-Regular school

Students: 288

Grade Levels: Kindergarten - 5th Grade

Distance: 1.17 mile(s)

Type: 1-Regular school

Students: 471

Grade Levels: 6th Grade - 8th Grade

STEPS IN A REAL ESTATE TRANSACTION

1

What is an Escrow?

THE LISTING AGREEMENT

The property owner (Seller) initiates a contract, or a listing agreement, with a licensed Real Estate Agent.

2

THE SALE

Property owner (Seller) enters into a purchase contract, typically referred to as an Earnest Money Agreement, with a Buyer.

3

ESCROW

As part of the purchase contract, Seller agrees to purchase a title insurance policy for the Buyer and both agree to close the transaction with a licensed escrow company. In Oregon, most title insurance companies also offer escrow services to facilitate a convenient “one-stop” approach to closing real estate transactions.

An escrow is a neutral third party depository for legal documents and funds necessary to complete a real estate transaction. The escrow agent will disburse funds and record documents for the proper recipients according to their written instructions.

What title insurance and escrow costs are incurred in a real estate sale?

The fee for escrow services is based on the sales price of the property. This fee is typically split equally between the Seller and Buyer. However, Buyers should check with their lenders if financing is involved because some federally insured lending programs do not allow borrowers to pay this fee. The Seller typically pays for a standard owner’s policy of title insurance which names the Buyer as the insured. Charges for this policy are based on the sales price of the property. The Buyer typically pays for a lender’s policy of title insurance and any required endorsements if s/he is obtaining a new loan to purchase the property. Charges for this policy are based on the loan amount.

What services does an escrow agent perform on behalf of the Seller and Buyer?

• Upon opening of escrow, escrow agent will order a preliminary title report, which will be sent to all interested parties involved in the transaction. The report will detail the current ownership, liens and encumbrances of the property.

• Closing statements will be prepared for each party, showing all credits and debits. The escrow agent will schedule appointments for all parties to sign their final necessary documents, including any funds needed to be deposited, to complete the transaction.

• Signed loan documents are returned to the Lender, for final review and funding approval.

• Recordable documents are released to the County Clerk’s office for recording.

• Once recorded, all funds are disbursed per written instructions.

• Final title policies are issued to the insured parties.

FROM PENDING TO SOLD

ESCROW FLOW CHART

Receive and review Earnest Money Agreement and Broker’s instructions.

Open escrow. Order title report.

Determine financing.

Information gathering from Buyer and Seller.

Receive title report. Send copies to all parties in the transaction.

Resolve any title issues. Order any payoff demands.

Review file. Are conditions satisfied? Contingencies removed?

Prepare closing statement, closing instructions and transfer deed

Obtain signatures on all escrow and loan documents. Collect any funds due from Buyer and/or Seller

Record applicable documents with the County Recorder's office.

Close file. Prepare final statements. Disburse funds.

Forward final documents to all interested parties - Buyer, Seller, Real Estate Agents, Lender, Broker, Attorney, etc.

NEW LOAN

Notify Escrow with name of new lender and loan officer.

Send title report to lender.

Notification of final loan approval. Are repairs complete?

Deliver Seller & Buyer Closing Disclosures. Buyers’ consummation 3-6 days.

Loan documents delivered to escrow.

Return loan documents for final approval to fund and record.

Order loan funds.

Turn static files into dynamic content formats.

Create a flipbook
Issuu converts static files into: digital portfolios, online yearbooks, online catalogs, digital photo albums and more. Sign up and create your flipbook.