Skip to main content

Flipbook for 220 Harrison St

Page 1

220 Harrison St Fairview, OR 97024 Kacharel Gibbs eXp Realty, LLC 8 N State St # 104 Lake Oswego, OR 97034

MultnomahCountyParcelInformation

ParcelInformation

Parcel#:R321226

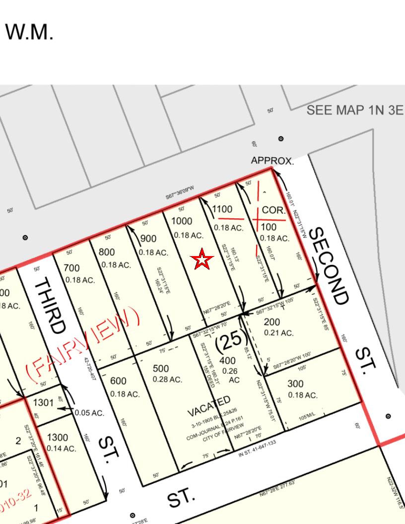
TaxLot:1N3E28DD01000

SiteAddress:220HarrisonSt

FairviewOR97024-3747

Owner:Keller,MichaelJ

220HarrisonSt

FairviewOR97024-3747

Twn/Range/Section : 01N/03E/28/SE

ParcelSize:018Acres(7,993SqFt)

Plat/Subdivision:

Lot/Block:25

MapPage/Grid:599-B4

Land

AssessmentInformation

MarketValueLand: $191,000.00

MarketValueImpr: $157,27000

MarketValueTotal: $348,27000

AssessedValue: $162,07000(2022)

TaxInformation

LevyCodeArea:240

LevyRate:17.3863(2022)

TaxYear:2022

AnnualTax:$2,89278

Exemption:

Legal

Census

Tract/Block: 010100/1034

CntyLandUse:101-Single-Family,Residential,Improved

LandUseStd:RSFR-SingleFamilyResidence

Watershed:ColumbiaSlough-WillametteRiver

Zoning:Fairview-R-75-LowDensityResidentialDistrict

SchoolDistrict:7-Reynolds

MiddleSchool:REYNOLDSMIDDLESCHOOL

Improvement

YearBuilt:1986

Bedrooms:3

Baths,Total:2

RoofCovering:Composition

A/C:Yes

Kitchen:1

TransferInformation

LoanDate:04/28/2009

LoanType:

Rec Date:08/24/1993

Owner:MichaelJKeller

Orig LoanAmt:$85,23200

FinanceType:FIX

Stories:1

Garage:

Baths,Full/Half:2/0

ExteriorWalls:Wood

Heat:ForcedAir

SECTION281N3E,TL1000018ACRES

CountyBldgUse:B-ResidentialImproved

Recreation:

Neighborhood:Fairview

#Dwellings:

ElementarySchool:FAIRVIEWELEMENTARY SCHOOL

HighSchool:REYNOLDSHIGHSCHOOL

TotalArea:1,392SqFt

FirstFloor:1,392SqFt

SecondFloor:

BasementFin/Unfin:

AtticFin/Unfin:

Porch/Patio:0SqFt/96SqFt

LoanAmt:$127,00000

DocNum:57866

FinanceType:Conventional Lender:M&TBK

SalePrice:$85,00000

DocNum:

LoanType:FHA

Deck:

DocType:DeedOfTrust

DocType:Deed

Grantor:ROBERTSGEORGEEJR&CLAYREKS

TitleCo:

Lender:INTERWESTMTG

SentryDynamics,Inc.anditscustomersmakenorepresentations,warrantiesorconditions,expressorimplied,astotheaccuracyor completenessofinformationcontainedinthisreport

Thismap/platisbeingfurnishedasanaidinlocatingthehereindescribedLandinrelationtoadjoiningstreets,naturalboundariesandotherland,andisnotasurveyofthe landdepicted.Excepttotheextentapolicyoftitleinsuranceisexpresslymodifiedbyendorsement,ifany,theCompanydoesnotinsuredimensions,distances,locationof easements,acreageorothermattersshownthereon.

Thismap/platisbeingfurnishedasanaidinlocatingthehereindescribedLandinrelationtoadjoiningstreets,naturalboundariesandotherland,andisnotasurveyofthe landdepicted.Excepttotheextentapolicyoftitleinsuranceisexpresslymodifiedbyendorsement,ifany,theCompanydoesnotinsuredimensions,distances,locationof easements,acreageorothermattersshownthereon.

Split/Merge

Property Owner Property Address 2022AssessedValue R321226 KELLER,MICHAELJ 220HARRISONST,FAIRVIEW,OR97024 $162,070 GENERALINFORMATION Property Status AActive Property Type RPResidential Legal Description SECTION281N3E,TL10000.18ACRES Alternate Account Number R943282030 Neighborhood R062 Map Number 1N3E28DD-01000 Property Use B-RESIDENTIALIMPROVED LevyCodeArea 240 OWNERINFORMATION Owner Name KELLER,MICHAELJ Mailing Address 220HARRISONSTFAIRVIEW,OR97024 RELATEDPROPERTIES
data prior to February 6, 2018
online,
Multnomah County Assessment & Taxation
Linked PropertiesProperty Group IDGrouped PropertiesSplit / Merge DateSplit / Merge AccountsSplit / Merge MessageIMPROVEMENTS ? Expand/Collapse All LANDSEGMENTS LANDNO LANDTYPE LANDSIZE L1 RESRESIDENTIALLAND 7,993Sq.ft TOTALS 7,993Sq.ft/0.18acres ASSESSEDVALUES YEAR IMPROVEMENTS LAND SPECIALMARKET/USE RMV M5VALUE EXEMPTIONS M50ASSESSED 2022 $157,270 $191,000 - / - $348,270 $348,270 $162,070 2021 $146,700 $166,000 - / - $312,700 $312,700 $157,350 2020 $119,350 $156,000 - / - $275,350 $275,350 $152,770 2019 $108,780 $149,000 - / - $257,780 $257,780 $148,330 2018 $108,780 $141,000 - / - $249,780 $249,780 $144,010 2017 $102,100 $126,000 $0 / $0 $228,100 $228,100 $139,820 2016 $86,550 $116,000 - / $0 $202,550 $202,550 $135,750 2015 $83,640 $94,500 - / $0 $178,140 $178,140 $131,800 2014 $66,800 $87,100 $0 / $0 $153,900 $153,900 $127,970 2013 $52,270 $76,000 $0 / $0 $128,270 $128,270 $124,250 SALESHISTORY DEED SELLER BUYER INSTR# DATE CONSIDERATIONAMOUNT WD ROBERTS,GEORGEEJRETAL KELLER,MICHAELJ BP27430872 8/1/1993 $85,000 ? Improvement #1 Improvement Type Building Type Class - SINGLEFAMILYRESIDENTIAL 1STY 3.0
is not available
please call
division.

If applicable, the described property is receiving special valuation based upon its use. Additional rollback taxes which may become due based on the provisions of the special valuation are not indicated in this listing.

TAXSUMMARY

TAXESDUE

? Details

Eรฉective
Date:
TAXYEAR TOTAL BILLED AD VALOREM SPECIAL ASMT PRINCIPAL INTEREST DATE PAID TOTAL OWED 2022 $2,892.78 $2,817.78 $2,892.78 $0.00 - $0.00 2021 $2,818.23 $2,748.23 $2,818.23 $0.00 - $0.00 2020 $2,630.39 $2,570.39 $2,630.39 $0.00 - $0.00 2019 $2,523.91 $2,463.91 $2,523.91 $0.00 - $0.00 2018 $2,499.34 $2,439.34 $2,499.34 $0.00 - $0.00 2017 $2,420.51 $2,360.51 $2,420.51 $0.00 - $0.00 2016 $2,317.76 $2,257.76 $2,317.76 $0.00 - $0.00 2015 $2,252.51 $2,192.51 $2,252.51 $0.00 - $0.00 2014 $2,178.33 $2,118.33 $2,178.33 $0.00 - $0.00 2013 $2,114.70 $2,054.70 $2,114.70 $0.00 - $0.00 2012 $2,023.99 $1,973.99 $2,023.99 $0.00 - $0.00 2011 $1,947.80 $0.00 $1,947.80 $0.00 - $0.00 2010 $1,877.37 $0.00 $1,877.37 $0.00 - $0.00 2009 $1,826.85 $0.00 $1,826.85 $0.00 - $0.00 2008 $1,780.67 $0.00 $1,780.67 $0.00 - $0.00 TOTAL
CurrentYearDue $0.00 PastYearsDue $0.00 TotalDue $0.00 PayMyBills TAXYEAR RECEIPTNUMBER TRANSACTIONDATE PAYMENTAMOUNT 2022 MULT-1538431 11-15-2022 $2,806.00 2021 MULT-1177541 11-12-2021 $2,733.68 2020 MULT-858999 11-13-2020 $2,551.48 2019 MULT-573622 11-19-2019 $2,448.19 2018 MULT-191458 11-13-2018 $2,424.36 2017 8726025 11-9-2017 $2,347.89 2016 8400175 11-14-2016 $2,248.23 2015 8023715 11-12-2015 $2,184.93 2014 7693465 11-14-2014 $2,112.98 2013 7340603 11-13-2013 $2,051.26 2012 6891670 11-6-2012 $1,963.27 2011 6510971 11-7-2011 $1,889.37 2010 6181785 11-9-2010 $1,821.05 2009 5823175 11-12-2009 $1,772.04 2008 5625887 2-18-2009 $1,187.11 2008 5562212 11-18-2008 $593.56 $75.00 $70.00 $60.00 $60.00 $60.00 $60.00 $60.00 $60.00 $60.00 $60.00 $50.00 $0 $0 $0 $0

Please Use/Click on this Digital Utility Link

Most utility service providers require you to go online, fill out a form and e-mail back, or use their online service.

Page 1
Subject Property Location Report Date: 03/06/2023 Property Address 220 HARRISON ST Order ID: R108919142 City, State & Zip FAIRVIEW, OR 97024-3747 County MULTNOMAH COUNTY Property Use Single Family Residential Mailing Address 220 HARRISON ST, FAIRVIEW, OR 97024-3747 Parcel Number 1N3E28DD 01000 Subject Property Address 220 HARRISON ST, FAIRVIEW, OR 97024 APN 1N3E28DD 01000 Owner KELLER, MICHAEL J Lot Size (SF/AC) 7,841/.18 Bedrooms 3 Year Built 1986 Living Area (SF) 1,392 Bathrooms/Partial 2 Garage/No. of Cars Phones Nearby Neighbor #1 Address 230 HARRISON ST, FAIRVIEW, OR 97024 APN 1N3E28DD 00900 Owner HOOK, PAM Lot Size (SF/AC) 7,841/.18 Bedrooms 3 Year Built 1986 Living Area (SF) 1,024 Bathrooms/Partial 2 Garage/No. of Cars Attached Garage/2 Phones (971) 337-8736 Nearby Neighbor #2 Address 210 HARRISON ST, FAIRVIEW, OR 97024 APN 1N3E28DD 01100 Owner DAVIS, FRANKLIN II & DAVIS, CHRISTINA Lot Size (SF/AC) 7,841/.18 Bedrooms 1 Year Built 1926 Living Area (SF) 846 Bathrooms/Partial 1 Garage/No. of Cars Phones Nearby Neighbor #3 Address 343 2ND ST, FAIRVIEW, OR 97024 APN 1N3E28DD 00100 Owner KIDON, KEITH R Lot Size (SF/AC) 7,841/.18 Bedrooms 2 Year Built 1938 Living Area (SF) 960 Bathrooms/Partial 1 Garage/No. of Cars Detached Garage/1 Phones Nearby Neighbor #4 Address 240 HARRISON ST, FAIRVIEW, OR 97024 APN 1N3E28DD 00800 Owner ISAACSON, DANA W Lot Size (SF/AC) 7,841/.18 Bedrooms 2 Year Built 1937 Living Area (SF) 1,639 Bathrooms/Partial 2 Garage/No. of Cars Detached Garage/1 Phones Nearby Neighbor #5 Address 365 2ND ST, FAIRVIEW, OR 97024 APN 1N3E28DD 00200 Owner CALDWELL, JAMES R Lot Size (SF/AC) 9,148/.21 Bedrooms 3 Year Built 1949 Living Area (SF) 1,312 Bathrooms/Partial 1/1 Garage/No. of Cars Attached Garage/3 Phones Nearby Neighbor #6 Address 250 HARRISON ST, FAIRVIEW, OR 97024 APN 1N3E28DD 00700 Owner ISAACSON, WALTER E & ISAACSON, SHIRLEY S Lot Size (SF/AC) 7,841/.18 Bedrooms 1 Year Built 1935 Living Area (SF) 1,663 Bathrooms/Partial Garage/No. of Cars Mixed/3 Phones
Nearby Neighbors Report
Page 2 Nearby Neighbor #7 Address 245 LINCOLN ST, FAIRVIEW, OR 97024 APN 1N3E28DD 00500 Owner SCHIMEL, KARI M & SCHIMEL, WILLIAM C Lot Size (SF/AC) 12,197/.28 Bedrooms 3 Year Built 1957 Living Area (SF) 1,426 Bathrooms/Partial 2 Garage/No. of Cars Attached Garage/2 Phones Nearby Neighbor #8 Address 205 HARRISON ST, FAIRVIEW, OR 97024 APN 1N3E28DA 08900 Owner EVENSEN, KRISTOFER Lot Size (SF/AC) 7,500/.17 Bedrooms 3 Year Built 1896 Living Area (SF) 1,668 Bathrooms/Partial 1 Garage/No. of Cars Phones (503) 267-6255 Nearby Neighbor #9 Address 1919 FAIRVIEW AVE, FAIRVIEW, OR 97024 APN 1N3E27CC 03100 Owner HUMPHREY, TIMOTHY & ENGELN, ROSEMARIE Lot Size (SF/AC) 14,400/.33 Bedrooms 2 Year Built 1915 Living Area (SF) 1,219 Bathrooms/Partial 1 Garage/No. of Cars Detached Garage/1 Phones Nearby Neighbor #10 Address 385 2ND ST, FAIRVIEW, OR 97024 APN 1N3E28DD 00300 Owner ROSS, ALBERT L TR Lot Size (SF/AC) 7,841/.18 Bedrooms 2 Year Built 1925 Living Area (SF) 1,650 Bathrooms/Partial 1 Garage/No. of Cars Detached Garage/1 Phones Nearby Neighbor #11 Address 225 HARRISON ST, FAIRVIEW, OR 97024 APN 1N3E28DA 08800 Owner SOTO, ALEJANDRO D L C & MARQUEZ, PATRICIA M Lot Size (SF/AC) 7,500/.17 Bedrooms 0 Year Built 1991 Living Area (SF) 1,700 Bathrooms/Partial 2/1 Garage/No. of Cars Attached Garage/2 Phones Nearby Neighbor #12 Address 255 LINCOLN ST, FAIRVIEW, OR 97024 APN 1N3E28DD 00600 Owner CASTRO B, FRANCISCO & SCHRAM, NICOLE Lot Size (SF/AC) 7,841/.18 Bedrooms 3 Year Built 1955 Living Area (SF) 1,284 Bathrooms/Partial 1 Garage/No. of Cars Phones Nearby Neighbor #13 Address 235 HARRISON ST, FAIRVIEW, OR 97024 APN 1N3E28DA 08700 Owner ELLIS, PAULA R Lot Size (SF/AC) 10,800/.25 Bedrooms 3 Year Built 1979 Living Area (SF) 1,680 Bathrooms/Partial 1/1 Garage/No. of Cars Attached Garage/2 Phones Nearby Neighbor #14 Address 255 HARRISON ST, FAIRVIEW, OR 97024 APN 1N3E28DA 08600 01 Owner JAMES R WORKMAN & OIE WORKMAN FAMILY TR Lot Size (SF/AC) 11,700/.27 Bedrooms 0 Year Built 1913 Living Area (SF) 1,189 Bathrooms/Partial 1 Garage/No. of Cars Phones

REPORT

FOR USE

YOU

END USER SOLELY FOR YOUR INTERNAL BUSINESS PURPOSES. YOU SHALL NOT

OR

THIS REPORT BY ANY PARTY OTHER THAN YOURSELF FOR ANY PURPOSE IS STRICTLY PROHIBITED. THIS REPORT IS PROVIDED AS-IS WITHOUT WARRANTY

ANY

USE

WHOLE OR

PART.

EITHER EXPRESS OR IMPLIED, INCLUDING WITHOUT LIMITATION, ANY WARRANTIES OF MERCHANTABILITY, NON-INFRINGEMENT, OR FITNESS FOR A PARTICULAR PURPOSE. BLACK KNIGHT SHALL HAVE NO LIABILITY IN CONTRACT, TORT, OR OTHERWISE ARISING OUT OF OR IN CONNECTION WITH THIS REPORT. BLACK KNIGHT DOES NOT REPRESENT OR WARRANT THAT THE REPORT IS COMPLETE OR FREE FROM ERROR. YOU UNDERSTAND AND ACKNOWLEDGE THAT THE AVAILABILITY, COMPLETENESS AND FORMAT OF THE DATA ELEMENTS MAY VARY SUBSTANTIANLLY FROM AREA-TO-AREA. THE INFORMATION CONTAINED IN THIS REPORT IS DERIVED FROM PUBLICLY AVAILABLE SOURCES FOR THE SUBJECT PROPERTY OR COMPARABLE PROPERTIES LISTED ABOVE AND HAS NOT BEEN INDEPENDENT VERIFIED BY BLACK KNIGHT THROUGH ANY FORM OF INSPECTION OR REVIEW. THIS REPORT DOES NOT CONSTITUTE AN APPRAISAL OF ANY KIND AND SHOULD NOT BE USED IN LIEU OF AN INSPECTION OF A SUBJECT PROPERTY BY A LICENSED OR CERTIFIED APPRAISER. THIS REPORT CONTAINS NO REPRESENTATIONS, OPINIONS OR WARRANTIES REGARDING THE SUBJECT PROPERTY'S ACTUAL MARKETABILITY, CONDITION (STRUCTURAL OR OTHERWISE), ENVIRONMENTAL, HAZARD OR FLOOD ZONE STATUS, AND ANY REFERENCE TO ENVIRONMENTAL, HAZARD OR FLOOD ZONE STATUS IS FOR INFORMATIONAL PURPOSES ONLY AND SHALL BE INDEPENDENTLY VERIFIED BY THE END USER. THE INFORMATION CONTAINED HEREIN SHALL NOT BE UTILIZED: (A) TO REVIEW OR ESTABLISH A CONSUMER'S CREDIT AND/OR INSURANCE ELIGIBILITY OR FOR ANY OTHER PURPOSE THAT WOULD CAUSE THE REPORT TO CONSTITUTE A "CONSUMER REPORT" UNDER THE FAIR CREDIT REPORTING ACT, 15 U.S.C. ยง 1681 ET SEQ.; OR (B) IN CONNECTION WITH CERTIFICATION OR AUTHENTICATION OF REAL ESTATE OWNERSHIP AND/OR REAL ESTATE TRANSACTIONS. ADDITIONAL TERMS AND CONDITIONS SHALL APPLY PURSUANT TO THE APPLICABLE AGREEMENT.

Copyright

CONFIDENTIAL, PROPRIETARY AND/OR TRADE SECRET. TM SM ยฎ TRADEMARK(S) OF BLACK KNIGHT IP HOLDING COMPANY, LLC, OR AN AFFILIATE. ยฉ 2023 BLACK KNIGHT TECHNOLOGIES, LLC. ALL RIGHTS RESERVED.

Page 3 Nearby Neighbor
Address 250 2ND ST, FAIRVIEW, OR 97024 APN 1N3E28DA 08901 Owner PRESTON, BARBARA J Lot Size (SF/AC) 7,500/.17 Bedrooms 0 Year Built 2007 Living Area (SF) 1,948 Bathrooms/Partial 3 Garage/No. of Cars Attached Garage/2 Phones Disclaimer THIS
#15
IS INTENDED
BY
AS AN
RESELL, RELICENSE
REDISTRIBUTE THIS REPORT, IN
IN
THE
OF
OF
KIND,

Property Profile HOMEBOOK

Utilities
HOMEBOOK
Neighborhood Information HOMEBOOK

School Information HOMEBOOK

ClickHereforthe OregonSchoolReportCards

School Information

Centennial

North

David

Gresham

Banks 503 . 324 . 8591 | www.banks.k12.or.us Beaverton 503 672 3721 | www.beaverton.k12.or.us
503 266 7861 | boundaries: 503 266 2064 | www.canby.k12.or.us
Canby
503 760 7990 | www.centennial.k12.or.us
Clackamas 503 . 653 . 6000 | boundaries: 503 . 353 . 6119 | www.nclack.k12.or.us
503 824 3535 | boundaries: 503 824 3534 | www.colton.k12.or.us
Colton
Douglas 503 . 252 . 7990 | www.centennial.k12.or.us
503 . 630 . 6871 | www.esd108.k12.or.us
Grove 503 357 6171 | boundaries: 503 359 8167 x 221 | www.fgsd.k12.or.us
503 . 655 . 2777 | www.gladstone.k12.or.us
Estacada
Forest
Gladstone
/ Barlow 503 . 618 . 2450 | www.gresham.k12.or.us Hillsboro 503 844 1500 | boundaries: 503 648 9123 | www.hsd.k12.or.us
Oswego 503 . 534 . 2000 | boundaries: 503 . 534 . 2490 | www.loswego.k12.or.us
Lake

School Information

McMinnville 503 565 4000 | www.msd.k12.or.us Molalla River 503 . 829 . 2359 | boundaries: 503 . 829 . 2512 | www.molallariv.k12.or.us Newberg 503 554 5000 | boundaries: 503 538 8365 | www.newberg.k12.or.us Oregon City 503 657 4283 | boundaries: 503 657 2471 | www.orecity.k12.or.us Oregon Trail 503 668 5541 | www.oregonrailschools.k12.or.us Parkrose 503 408 2100 | www.parkrose.k12.or.us Portland 503 916 2000 | boundaries: 503 916 3262 | www.pps.k12.or.us Reynolds 503 . 661 . 7200 | boundaries: 503 . 492 . 4921 | www.reynolds.k12.or.us Sherwood 503 625 8100 | boundaries: 503 625 8107 | www.sherwood.k12.or.us Tigard / Tualatin 503 431 4000 | www.ttsd.k12.or.us West Linn / Wilsonville 503 . 673 . 7000 | boundaries: 503 . 673 . 7034 | www.wlwv.k12.or.us Woodburn 503 . 981 . 9555 | www.woodburn.k12.or.us
County G School Type Tuition Range A(%) E(#)C(#)M(#) U Washington County (OR) 1. Agia Sophia Academy PK-5 Montessori $6,600โ€“8,300 95 30 12 Yes 2. Catlin Gabel School PK-12 College Prep $27,190โ€“34,100 26 776 17 61 No 4. Forest Hills Lutheran Christian School PK-8 Lutheran $6,531โ€“6,875 98 197 18 No 5. German International School PK-5 Language Immersion, INTL Baccalaureate $15,110โ€“15,275 98 144 12 10 No 6. Holy Trinity Catholic School PK-8 Catholic $6,600โ€“8,400 285 30 Yes 7. Horizon Christian School PK-12 College Prep $4,650โ€“11,975 95 411 14 24 No 8 Islamic School of MET PK-12 Muslim College Prep $7,750โ€“8,250 90 206 16 5 Yes 9. Jesuit High School 9-12 College Prep $15,475 71 1274 23 86 No 11. Living Wisdom School PK-8 Education for Life $7,200โ€“9,100 95 38 12 No 12. Montessori School of Beaverton PK-6 Montessori $11,400โ€“12,000 80 120 1010 No 13. Northwest Chinese Academy PK-5 Language Immersion $17,250โ€“19,525 96 33 77 Yes 14. Oregon Episcopal School PK-12 College Prep $28,900โ€“35,000 43 858 16 72 Yes 15. Pilgrim Lutheran Christian School PK-8 Christian $6,850โ€“8,295 12512 5 Yes 16. St. Matthew Catholic School PK-8 Catholic $6,850โ€“8,600 99 184 21 16 Yes 17. St. Pius X Grade School K-8 Catholic $7,240โ€“9,430 85 492 3029 Yes 18. St. Stephenโ€˜s Academy PK-12 Classical Christian $5,160โ€“10,620 96 256 1610 Yes 19. Tualatin Valley Academy PK-12 Christian $4,980โ€“9,108 99 175 20 8 No Grade Range Acceptance Rate A 2014-2015 Enrollment E G
School Information
School Information County G School Type Tuition Range A(%) E(#)C(#) M(#) U Washington County (OR) 20. Valley Catholic Elementary School K-5 Catholic $8,520 337 13 Yes 21. Valley Catholic Middle School 6-8 College Prep $11,610 252 24 Yes 22. Valley Catholic High School 9-12 College Prep $14,685 370 28 No 23. Visitation Catholic School PK-8 Catholic $4,793โ€“5,868 98 165 20 8 Yes Multnomah County (OR) 1. A Renaissance School of Arts and Sciences K-8 Progressive $14,440 90 115 8 9 No 2. Central Catholic High School 9-12 College Prep, Catholic $15,378โ€“19,000 98 850 21 52 No 3. Childpeace Montessori School, Metro Middle School PK-8 Montessori $11,600โ€“17,300 6 254 26 10 No 4. Columbia Christian School PK-12 Christian, College Prep $4,000โ€“8,000 95 250 20 18 No 5. Edison High School 9-12 Learning Differences $24,650 50 102 9 14 No 6. French American International School PK-8 Language Immersion $18,296โ€“21,113 79 451 16 48 No 7. Grace Lutheran School PK-8 Lutheran $2,825โ€“6,695 95 88 22 1 No 8. Holy Redeemer Catholic School PK-8 Catholic $5,450โ€“7,775 95 304 27 11 Yes 9. Northwest Academy 6-12 College Prep $22,900โ€“24,400 75 240 15 26 No 10. Open Door Christian Academy PK-12 Christian $2,210โ€“3,940 50 285 25 5 No 11. Paci๏ฌc Crest Community School 6-12 College Prep $14,250 70 95 12 9 No Average Class Size C Required clothing or Uniforms? U Faculty with Masterโ€™s Degrees M
Grade Range Acceptance Rate A 2018-2019 Enrollment E G County G School Type Tuition Range A(%) E(#)C(#)M(#) U Multnomah County (OR) 12. Portland Christian Schools PK-12 College Prep $7,400โ€“11,335 94 547 42 30 No 13. Portland Jewish Academy PK-8 Jewish $19,415โ€“20,035 60 18818 No 14. St. Agatha Catholic School PK-8 Catholic $6,350โ€“7,930 60 18818 No 15. St. Clare School K-8 Catholic $6,600โ€“8,400 100 20726 Yes 16. St. John Fisher School K-8 Catholic $7,160โ€“9,335 89 200 24 17 Yes 17. St. Maryโ€™s Academy 9 - 12 College Prep $15,995 97 680 21 46 No 18. St. Rose School PK-8 Catholic $6,190โ€“7,840 94 224 25 12 Yes 19. Sunstone Montessori School PK-6 Montessori $11,900โ€“12,800 90 172 26 14 No 20. The International School PK-5 Language Immersion $19,040โ€“19,640 87387 14 24 No 21. The Madeleine School K-8 Catholic $6,065โ€“7,750 95 264 30 11 Yes 22. The Portland Montessori School PK-6 Montessori $10,725โ€“11,600 80 151 24 7 No 23. Trinity Lutheran Christian School K-8 Lutheran $7,300 1005210 24. Tucker Maxon School PK-5 Independent $8,200โ€“17,000 91 45 1212 No 25. Venn Academy K-8 Relationship BasedLearning $11,000 50-60 18 9 26. West Hills Christian School K-8 Christian $5,800โ€“8,875 90 308 18 11 No 27 West Hills Montessori PK-6 Montessori $11,495โ€“12,255 80 125 25 15 No
School Information
School Information Average Class Size C Required clothing or Uniforms? U Faculty with Masterโ€™s Degrees M County G School Type Tuition Range A(%) E(#)C(#)M(#) U Clackamas County (OR) 1. Arbor School of Arts and Sciences K-8 Progressive $14,400 29 189 21 24 No 2. Christa McAuliffe Academy School of Arts and Sciences K-12 College Prep $3,995โ€“8,795 100 380 10 12 No 3. La Salle Catholic College Prep 9-12 College Prep $14,750 85 703 19 45 No 4 Micha-el School PK-8 Waldorf $6,370โ€“8,340 95 110 18 9 No 5. North Clackamas Christian School PK-12 Christian $6,353โ€“7,860 95 263 1815 No 6. Park Academy 3-12 Learning differences $21,000 96 10 7. Portland Waldorf School PK-12 Waldorf $11,275โ€“19,595 325 20 8. Spring Mountain Christian Academy K-12 Christian $3,460$4,440 90 165 12 4 No 9. St. John the Apostle Catholic School PK-8 Catholic $6,499 98 190 18 9 Yes 10. The Marylhurst School PK-8 Progressive $11,000 80 85 18 7 No Clark County (WA) 1. Cascadia School 1 - 6 Montessori $9,960โ€“10,440 90 98 22 3 No 2. Cedar Tree Classical Christian School K - 12 College Prep $6,600โ€“6,960 75 213 16 8 Yes 3. The Gardner School of Arts & Sciences PK - 8 Independent $16,950โ€“18,550 37 10 4 Our Lady Of Lourdes Catholic School PK-8 Catholic $7,034โ€“8,975 98 232 22 10 Yes

Turn static files into dynamic content formats.

Createย aย flipbook