

Inversión de 10 mil mdp, anuncia May
nEl gobernador Javier May Rodríguez, informa que la obra del proyecto estratégico del ferrocarril durará 18 meses y costará 10 mil 200 millones de pesos nEn su mañanera, también se dio a conocer que en los siguientes tres meses el gobierno invertirá 600 millones de pesos en obras públicas, lo que ayudará a detonar el desarrollo económico y la generación de empleos en la entidad
EJERCICIO DEL ERARIO ESTARÁ BLINDADO CONTRA LA

El gobernador asegura que en su administración se creará la figura de las contralorías sociales para que vigilen el uso de los recursos públicos. (Foto: Jorge Hernández)
Sheinbaum envía al Senado leyes para la elección del Poder Judicial
CIUDAD DE MÉXICO.- La Presidenta Claudia Sheinbaum Pardo, envió sus propuestas de reforma para las leyes secundarias que regirán el proceso electoral de jueces, magistrados y ministros del Poder Judicial al Senado de la República.
Durante la conferencia mañanera, Ernestina Godoy, Consejera Jurídica de la Presidencia, presentó el contenido de las leyes secundarias que Sheinbaum envió al Senado “continuar trabajando y dando información y certeza de lo que será” la elección de jueces, magistrados y ministros.
Las leyes que se reforman y adicionan son, la Ley General de Instituciones y Procedimientos
Electorales (LGIPE) y la Ley General del Sistema
CIUDAD DE MÉXI-
CO.- Gerardo Fernández Noroña, Presidente de la Mesa Directiva del Senado, aseguró que aunque la Suprema Corte de Justicia de la Nación (SCJN) no lo quiera, la elección de personas juzgadoras se llevará acabo el primer domingo de junio de 2025.
Durante su participación en el pleno, el Presidente del Senado, criticó que la SCJN, encabezada por la Ministra Norma Piña Hernández, busque intervenir en las facultades del Poder Legislativo. Y es que, la tarde del día de hoy, con 8 votos a favor y 3 en contra, la

de Medios de Impugnación en Materia Electoral. Con las iniciativas, Sheinbaum pretende que se garanticen los principios rectores en cada una de las etapas del proceso electoral para los cargos de elección del Poder Judicial. La organización
de la elección la llevará a cabo el Instituto Nacional Electoral (INE). En cuanto a la convocatoria para integrar el listado de candidaturas a los cargos judiciales, será emitida por el Senado de la República.
Cada Poder de la Federación podrá inte-
grar un Comité de evaluación para elegir a sus candidatos o candidatas, mientras que deberá emitir una convocatoria para que las personas que cumplan los requisitos de ley puedan postularse, y cuyos perfiles serán evaluados por los comités. En total, cada comité

seleccionara entre 6 y 10 cargos para cada cargo a elegir.
Una vez aprobadas las postulaciones, entrarán en una insaculación pública donde se seleccionarán entre 2 y 3 candidaturas a cada cargo a elegir y que serán los nombres que aparecerán en las boletas. Cabe destacar que los ministros, jueces y magistrados actuales, tienen pase directo a la boleta, salvo que declinen a su cargo. Finalmente, el INE deberá verificar que no haya financiamiento público o privado a las candidaturas judiciales. Asimismo, deberá revisar que ningún partido político, no servidores públicos, emitan juicios en favor o en contra de algunas de las candidaturas. Las y los candidatos podrán promocionar sus candidaturas en radio y televisión pública, así como con sus propias redes sociales siempre y cuando no signifiquen erogación alguna.
Noroña asegura que la elección de juzgadores será una realidad
Corte aprobó la primera de 10 consultas a trámite para decidir si cuenta con facultades para revertir la recién aprobada reforma al Poder Judicial. En ese sentido, Fernández Noroña sostuvo que con esta acción, la SCJN demostró su “carácter faccioso” al plantearse a si misma como un poder por encima del Poder Legislativo. Esto

debido a que solamente este poder tiene la atribución de modificar la Constitución Mexicana.
“Ni la Suprema Corte de Justicia de la Nación, ni el Poder Judicial, tienen atribución jurídica alguna para revisar los actos de esta soberanía y del Poder Legislativo. No puede”, señaló el morenista.
Asimismo, afirmó
que la SCJN no debe “erigirse como supremo poder” por encima del Poder Legislativo y el Ejecutivo. Pero aún más, no debe hacerlo por encima del pueblo de México, que votó porque el Poder Judicial fuera reformado de la forma en que se ha hecho. Finalmente, Fernández Noroña culminó su mensaje asegurando que la elección del Poder Judicial
FUNDADOR: Alberto Pérez Mendoza (+)
por voto popular se llevará a cabo, aún cuando no lo quiera la SCJN.
“Por esta razón, esta Presidencia plantea con toda claridad y firmeza que la elección de las personas juzgadoras se llevará a cabo el primer domingo de junio de 2025. Lo quiera o no lo quiera la Suprema Corte de Justicia de la Nación”, puntualizó.
DIRECTOR GENERAL Y EDITOR RESPONSABLE: Lic. Carlos Pérez Mendoza
GERENTE: Luis Manuel Jesús Ortiz
SUBDIRECTOR: Omar Policroniades Hdez.
La Verdad del Sureste, edición correspondiente al 08 de Octubre de 2024. Publicación diaria digital
Certificado de Licitud de Título y Contenido No. 15765, expedido por la Comisión Calificadora de Publicaciones y Revistas Ilustradas de la Secretaría de Gobernación.
Certificado de Reserva de Derechos al Uso Exclusivo del Título expedido por el Instituto Nacional del Derecho de Autor No. 04–2014–012217164800–101.
Toda correspondencia dirigirla al domicilio de La Verdad del Sureste
Email: buzon@la-verdad.com.mx Web: www.la-verdad.com.mx

Juan Manuel Diego
VILLAHERMOSA, TABASCO.
El gobernador Javier May Rodríguez adelantó que la construcción del ferrocarril Estación Chontalpa-Dos Bocas durará 18 meses y el proyecto costará 10 mil 200 millones de pesos.
Además, en los siguientes tres meses el gobierno invertirá 600 millones de pesos en obras públicas, lo que ayudará a detonar el desarrollo económico y la generación de empleos en la entidad, añadió el titular del Poder Ejecutivo estatal, durante la rueda de prensa en Palacio de Gobierno.
En el caso del tren Estación Chontalpa-Dos Bocas tiene el aval de los ciudadanos de Cárdenas, Comalcalco, Huimanguillo y Paraíso, que venderán los predios para la construcción de las vías de ferrocarril, mientras se están efectuando los avalúos para pagar las indemnizaciones, señaló el mandatario estatal.
Indicó que se contempla la construcción de 96 kilómetros de vías de ferrocarril, aunque todavía no se define la fecha de inicio.
May Rodríguez indicó que su administración creará la figura de las contralorías sociales para que vigilen el uso de los recursos públicos.
Remarcó que en su administración el presupuesto público se ejercerá correctamente, habrá obras de calidad y no dejaremos obras inconclusas.
No habrá consideración –sentenció– contra “quien haga mal uso de los recursos públicos; vamos a ser implacables en el tema de la supervisión para que los recursos del pueblo se apliquen de manera correcta, que no queden obras inconclusas y que la calidad sea la que se contrata”.
En otro tema, insistió en que la Quinta Grijalva será un espacio para la cultura y las artes, y se buscará que niñas y niños de zonas lejanas la visiten y vean películas en su cine.
Comentó que en la adecuación de la Quinta Grijalva se cuidará el patrimonio histórico y cultural.
Se expondrán al público piezas de las cultutas Olmeca y Maya, subrayó.
MODERNIZACIÓN
En El tren Estación Chontalpa-Dos Bocas
Inversión de 10 mil mdp, anuncia May
nAdelanta que antes de que finalice el año, se invertirán 600 mdp en diversas obras públicas para detonar el desarrollo económico y generar empleos
CARRETERA
Entre otras acciones que también contribuirán a detonar la economía y reactivar el empleo en Tabasco, el gobernador adelantó la modernización de la carretera
Paraíso-La Isla, que es la vía corta; además de la obra carretera paralela al Tren Dos Bocas-Estación Chontalpa.
“Con lo que vamos hacer, daremos mayor viabilidad a la Chontalpa y a nueve municipios con los que estamos trabajando en un corredor logístico para tener mayor comunicación en una zona donde se asienta más del 80 por ciento de la población tabasqueña”, indicó.
Javier May remarcó que Tabasco contará con el apoyo del gobierno de la presidenta Claudia Sheinbaum Pardo para el desarrollo de este plan integral, que además incluye la ampliación de las carreteras MacultepecCiudad del Carmen, y Paraíso-Sánchez Magallanes.

“Eso nos conectará más, para que quienes de vienen de Paraíso ya no tengan que pasar por Cárdenas, y puedan salir por Sánchez Magallanes e incorporarse a la Carretera del Golfo”, expuso, y detalló que a través de estas acciones se dará desahogo a la presión
vehicular de carga pesada que circula por esa vía de comunicación.
En la rueda de prensa efectuada en Palacio de Gobierno, la Secretaría de Seguridad y Protección Ciudadana, así como la Comandancia de la Trigésima Zona Militar, presentaron un infor-
me del “Operativo Tabasco Seguro”, mientras que funcionarios de la Secretaría de Ordenamiento Territorial y Obras Públicas dieron a conocer las acciones que se realizarán en los primeros 100 días de gobierno, además de los proyectos estratégicos del sexenio.
Se seguirá implementando Operativo Tabasco Seguro
VILLAHERMOSA, TAB., 07 DE OCTUBRE DE 2024.- El Comandante de la 30/a. Zona Militar, Héctor Francisco Morán González, anunció durante la conferencia de prensa matutina encabezada por el Gobernador Javier May Rodríguez, que el operativo ‘Tabasco Seguro’ continuará realizándose para darle a las familias tabasqueñas mayor seguridad. Señaló que el operativo es un esfuerzo interinstitucional de los tres niveles de Gobierno para recuperar y mantener la calma y la paz social en el estado de Tabasco, siendo encabezado por
la Guardia Nacional, Sedena y la Secretaría de Seguridad y Protección Ciudadana de Tabasco y las áreas de Procuración de Justicia. El mandatario estatal reafirmó su compromiso por mantener una estrecha coordinación con las autoridades Federales como Sedena, Guardia Nacional y Fiscalías para fortalecer la relación con la que se cuenta, además de que se están definiendo nuevas estrategias para continuar trabajando.
Al presentar los resultados del operativo ‘Tabasco Seguro’, del 1 de enero al 30 de septiembre
de 2024, señaló que fueron detenidas 11,998 personas extranjeras; 1,232 detenidos nacionales; 60 liberados por secuestro; 1,332 vehículos recuperados; 349 motocicletas; 154 remolques; 155 tractocamiones y 4 tráilers. Por su parte el titular de la Secretaría de Seguridad y Protección Ciudadana de Tabasco, Victor Hugo Chávez Martínez, también presentó detalles de los resultados obtenidos durante la semana del 30 de septiembre al 06 de octubre del presente año.En total fueron detenidas 19 personas; 7 vehículos y 4 motocicleta aseguradas; en cuanto a
armas y explosivos asegurados se decomisaron 2 armas largas; 1 arma corta; 1 arma réplica; 3 cargadores; 69 cartuchos; 21 dosis de marihuana; 15 dosis de cocaína en polvo, 109 dosis de piedra y 27 dosis de cristal.

Difunde el WSJ plan de Claudia Sheinbaum para pacificar México
CIUDAD DE MÉXICO- La presidenta de México, Claudia Sheinbaum, está alistando el plan de su Gobierno para reducir la criminalidad en el país y para frenar el tráfico de drogas, detrás de la mayoría de homicidios, con el ojo puesto en el fentanilo que se produce y transporta hacia el vecino del norte, EE.UU.
Así se desprende de una presentación de su estrategia para pacificar el país, a la que tuvo acceso The Wall Street Journal, que apunta como objetivos fundamentales la reducción de los asesinatos y el control de

La presidenta Claudia Sheinbaum.
las grupos criminales organizados vinculados al tráfico de drogas que controlan parte del

Carlos Pérez Mendoza, director de La Verdad del Sureste, lamenta profundamente el fallecimiento de
Nidia Naranjo
Una mujer que es referente del movimiento de la izquierda política en Tabasco.
Mi más sentido pésame a amigos y familiares, rogándole al Dios, les brinde consuelo por la irreparable pérdida.
Este es mi consuelo en medio del dolor: que tu promesa me da vida. (Salmo 119:50)
Villahermosa, Tab., 07 de octubre de 2024.
país.
Según apunta el citado medio, gran parte de los esfuerzos se centrarán en los diez ciudades, concentradas en cinco estados, que registran una mayor tasa de homicidios, entre las que se incluyen Tijuana y Ciudad Juárez, ambas en la frontera con EE.UU; Acapulco; y Colima, en el oeste de México y considerado el municipio más violento del país.
Sheinbaum pretende aumentar la coordinación entre los fiscales federales y estatales y las fuerzas de seguridad, para luchar sobre todo contra los cárteles de la droga, a quienes sus predecesores no consiguieron poner freno.
El objetivo de la presidenta es conseguir repetir el logro de su mandato como jefa de Gobierno en Ciudad de México (20182023), cuando el número de homicidios se redujo a la mitad.
Para ello cuenta con el que fuera su jefe de seguridad, Omar

firmes en los juicios contra ellos.
García Harfuch, ahora como Secretario de Seguridad. Guanajuato, con la tasa de homicidios relacionados con el crimen organizado más alta del país, y el estado de Chiapas, también están en el punto de mira.
Un país tomado por las bandas
Un porcentaje muy elevado de la delincuencia en México está relacionada con las bandas de narcotraficantes.
Ellas son las responsables de conflictos que dejan un saldo de asesinatos, extorsiones y un sinnúmero de delitos.
Se dedican también al tráfico de personas, llevando a los migrantes desde la frontera sur hasta la norte, así como al contrabando de combustible.
La estrategia de seguridad de la nueva mandataria incluye el uso intensivo de inteligencia para diseccionar la estructura de estos grupos criminales y sostener acusaciones
En este aspecto, Culiacán también es uno de los objetivos del nuevo Ejecutivo. La ciudad es la capital del estado de Sinaloa, donde se está llevando a cabo una guerra sin cuartel entre dos facciones del Cartel de Sinaloa, después de que quedó descabezado con la captura de Joaquín ‘El Chapo’ Guzmán y de Ismael ‘El Mayo’ Zambada. Este territorio vive a diario el enfrentamiento entre ‘Los Chapitos’, liderado por los hijos del antiguo capo y una sección capitaneada por un hijo de ‘El Mayo’ Zambada, traicionado por un hijo de ‘El Chapo’ y entregado a las autoridades estadounidenses hace unos meses.
Lucha contra el fentanilo
El plan de Sheinbaum contempla poner fin a las extorsiones a los productores de la industria de los limones en el estado de Michoacán y, sobre todo, frenar la producción, distribución y exportación de fentanilo, una droga cincuenta veces más potente que la heroína, que causa decenas de miles de muertes de estadounidenses al año.
Para ello, la presidenta quiere dar un papel protagónico al Gobierno federal, con un gabinete de seguridad nacional que examine a los jefes de seguridad estatales designados por los gobernadores de las 32 entidades del país. También se quiere establecer normas a nivel nacional para las 32 fuerzas policiales estatales, los fiscales estatales y los sistemas penitenciarios, según recoge el citado medio.


José Barajas Mejía, es el nuevo titular de la Fiscalía General del Estado. (Foto: Tomás Rivas)
Designa Congreso a titulares de FGE y TSJ
Juan Manuel Diego
VILLAHERMOSA, TABASCO.
El pleno del Congreso del Estado eligió a José Barajas Mejía como titular de la Fiscalía General del Estado (FGE), dependencia encargada de investigar los delitos
y procurar justicia, luego de la renuncia de Nicolás Bautista Ovando.
Además los diputados eligieron a Carlos Efraín Reséndez Bocanegra para ser el nuevo presidente del Tribunal Superior de Justicia (TSJ) y del Poder Juducia, en lugar de Enrique Priego
Oropeza.
Mientras que Bénito Méndez fue votado para ser el presidente del Tribunal de Conciliación y Arbitrale (TCA).
De igual forma el Congreso del Estado aprobó la reforma a la Ley Organica de los Municipios para que los
Urge una depuración en los
cuerpos policiacos, dice PT

Trabajadores y directivos de La Verdad del Sureste, se unen a la pena que embarga a la familia y amigos de
Nidia Naranjo
Cobián
Por su sensible fallecimiento. Expresamos nuestras más sinceras condolencias por la irreparable pérdida. Dios es nuestro amparo y nuestra fortaleza, nuestra ayuda segura en momentos de angustia. (Salmo 46:1)
Villahermosa, Tab., 07 de octubre de 2024
VRedacción
ILLAHERMOSA, TABASCO. 7 DE OCTUBRE
DE 2024.- El coordinador de la bancada del Partido del Trabajo (PT), Martín Palacios, hizo un enérgico llamado a las autoridades de seguridad de Tabasco para llevar a cabo una depuración profunda en los cuerpos policiacos del estado.
El también lider petista, señaló que su propuesta no parte de la sospecha de que los policías estén coludidos con la delincuencia o grupos delictivos, sino de la necesidad de mantener altos estándares de profesionalización y eficiencia en el servicio de seguridad pública.
Palacios enfatizó que, ante el contexto actual de inseguridad y demanda ciudadana por cuerpos de seguridad competentes, es fundamental que todos los elementos que formen parte de la fuerza
policial cumplan con los requisitos y estándares establecidos.
Aquellos que no pasen los exámenes de control de confianza o no alcancen los niveles de rendimiento exigidos deben ser dados de baja de manera inmediata.
“No se trata de señalar culpables sin pruebas, pero sí de garantizar que quienes porten el uniforme estén plenamente capacitados y comprometidos con su labor”, afirmó.
El diputado señaló que este proceso de depuración debe realizarse con total respeto a los derechos laborales de los policías.
“Es fundamental que este tipo de decisiones se tomen conforme a la ley, garantizando que los derechos de los elementos que sean separados de su cargo sean plenamente respetados”, subrayó. Además, Palacios destacó que los cuerpos policiacos no solo necesitan perso-
delegados municipales vuelvan a ser electos por los votos de los ciudadanos. En comisiones avanzaron las iniciativas enviadas por el gobernador Javier May Rodríguez para modificar la estructura de la administración pública estatal.
nal que cumpla con los exámenes, sino que también es necesario contar con elementos que busquen constantemente la profesionalización.
En este sentido, propuso que se haga una revisión exhaustiva no solo de quienes fallan en los controles, sino también de aquellos que no demuestran interés en su desarrollo profesional o en el cumplimiento de los objetivos institucionales.
“Como en cualquier otro trabajo, quienes no estén alineados con los objetivos o simplemente no demuestren el compromiso necesario, deben ser retirados de sus funciones”, puntualizó.
Finalmente, instó al titular de la Secretaría de Seguridad de Tabasco a encabezar este proceso de revisión y depuración. Considera que, además de ser un paso necesario para mejorar el desempeño de la policía, también enviaría un mensaje de confianza a la ciudadanía, que clama por cuerpos de seguridad competentes y confiables en la lucha contra el crimen y la preservación del orden público.
Formaliza renuncia al IEM Nelly del Carmen Vargas
Redacción
VILLAHERMOSA, TABASCO. 7 DE OCTUBRE DE 2025.-Este lunes, Nelly del Carmen Vargas Pérez formalizó su renuncia como titular de la Dirección General del Instituto Estatal de las Mujeres (IEM) ante la Junta de Coordinación Política (Jucopo) del Congreso de Tabasco, permitiendo así que el gobierno encabezado por Javier
Joel Arias
VILLAHERMOSA, TABASCO 7 DE SEPTIEMBRE DE 2024.- El presidente del Colegio del Instituto Tabasqueño de Ingenieros Civiles, (CITIC) Sabino Morales Velázquez, mencionó que la organización está siendo usurpada, por Carlos Emilio Hernández González, quien se autonombró como presidente del colegio, pero su periodo terminó el año pasado.
El nuevo presidente del CITIC, dijo que esta persona tiene tomadas de forma ilegal las oficinas del Colegio del Insti-
May Rodríguez presente una terna de candidatas o candidatos para ocupar el puesto. En su declaración, Vargas Pérez subrayó que su gestión estaba prevista para el período comprendido entre el 1 de febrero de 2022 y el 31 de enero de 2025. Sin embargo, aseguró que decidió dejar el cargo para permitir una renovación en el liderazgo del Instituto, considerando que su ciclo esta-
ba completo y que era el momento adecuado para dar paso a nuevas ideas y enfoques.
Durante su tiempo al frente del IEM, Vargas Pérez destacó importantes logros institucionales, incluyendo el aumento del 100% en el presupuesto federal asignado al Instituto, lo que permitió fortalecer el trabajo territorial en favor de las mujeres tabasqueñas.
Además, señaló que se cumplió con uno
de los principales objetivos de su gestión: el establecimiento del Centro de Justicia para las Mujeres, una herramienta clave en la atención a la violencia de género en el estado.
No obstante, reconoció que aún quedan retos por superar, especialmente en cuanto a la creación de un segundo Centro de Justicia para la Mujer en Balancán, una obra que sigue pendiente.
Aclaró que, aun-


que este proyecto no se concretó durante su administración, se avanzó significativamente al completar la carpeta técnica, la cual ya ha sido enviada a la Comisión Nacional para Prevenir y Erradicar la Violencia contra las Mujeres (CONAVIM) para su eventual ejecución.
En disputa, la presidencia y sede del Colegio de Ingenieros Civiles
tuto Tabasqueño de Ingenieros Civiles por lo que se aferra a no entregar el inmueble.
Ante dicha situación, Sabino Morales, hizo el llamado al gobierno estatal, para que no reconozca o invite a eventos a estas personas, pues recalcó que ya deje de ser presiente y no tiene injerencia con la nueva administración.
Dijo, que desde su salida fue el 1 de julio del
2023, y desde esa fecha se sigue autonombrado presidente del CITIC, por lo que buscará la manera que esta persona siga realizando labores que no le competen.
Para finalizar, dijo el actual presidente de dicho colegio, que, ya interpuso al demanda correspondiente ante las diferentes instancias para que, salga del nombramiento y sobre todo deje libre el inmueble.

Rueda de prensa de Sabino Morales Velázquez. (Foto: Jorge Hernández)
Lluvias provocan un alza del 50% en precios de verduras
Joel Arias
VILLAHERMOSA, TABASCO 7 DE SEPTIEMBRE DE
2024.- El secretario de la Unión de Vendedores de Frutas y Verduras del mercado
José María Pino Suá-
rez en el municipio de Centro, Jesús López Hernández, dijo que las inclemencias del tiempo han sido parte fundamental para que le precio en las verduras incremente el precio hasta en un 50 por ciento. El líder de los
vendedores de frutas y verduras, dijo que la papa y la cebolla, han sido una de las verduras que subieron de 20 hasta 50 pesos el kilogramo, debido a la situación que hay en las inclemencias del tiempo en este caso en el estado de Puebla don-
de se cultiva. Detalló, que el incremento de precio de las verduras, siempre se hace a inicios del año, pero debido a la situación antes mencionada el precio incremento, por lo que advirtió el comerciante en el mercado Pino
Suarez, que otras verduras podrían incrementar su precio por kilo.
Para finalizar, López Hernández, dijo que no sabe cuáles serían las frutas o verduras podrían incrementar el precio, hablando de las frutas que vienen de otras entidades federativas, dijo que en Tabasco, hay escases de plátano macho y no se sabe si el limón tenga el mismo problemas en los próximos meses.

CIUDAD DE MÉ-
XICO.- El Ministro Javier Laynez Potisek estalló contra las también Ministras de la Suprema Corte de Justicia de la Nación (SCJN) Loretta Ortiz, Lenia Batres Guadarrama y Yasmín Esquivel Mossa; “están en campaña”.
En entrevista con Ciro Gómez Leyva, el Ministro de la Corte que echó abajo la Reforma Eléctrica del expresidente Andrés Manuel López Obrador, fue cuestionado sobre la posibilidad de que la SCJN pueda derribar la Reforma Judicial. Claramente nervioso e intentando hilar ideas para argumentar que si es posible, Laynez Potisek aseguró que las jurisprudencias que aseguraban que la Corte no puede frenar una reforma judicial “son muy antiguas” y “se ha evolucionado mucho”.
“Todavía es algo que la Corte tiene que explorar, porque no hemos llegado a explorar si por la vía de una acción una controversia la Corte pue-
Ministro Laynez estalla contra Loretta Ortiz, Batres y Esquivel
de nulificar una reforma constitucional. Es cierto, había una jurisprudencia muy muy vieja donde la Corte dijo que no, pero luego ha ido evolucionando mucho en sus criterios”, aseguró.
Sin embargo, el ministro aseguró que no se puede anular en “el contenido”, solo el el proceso legislativo, lo que detonó una pregunta de Ciro Gómez Leyva. El periodista cuestionó que si no se puede anular en el contenido, por qué en la sesión de la Corte, el mismo Laynez puso un ejemplo en el que se anulaba una reforma por su contenido, tema que puso visiblemente en problemas al juzgador y por lo que se decidió ir a un corte comercial.
Pero no fue todo, sino que Laynez Potisek aprovechó el espacio

para despotricar contra sus compañeras de la Corte Loretta Ortiz, Lenia Batres y Yasmín Esquivel a quienes acusó de “estar buscando su permanencia” y estar en campaña para que la gente vote por ellas cuando se lleve a cabo la elección judicial en junio de 2025.
“Hay que seguir adelante porque será un
año complicadísimo, además, las tres ministras durante todo el año vamos a tener pronunciamiento en redes porque están buscando su permanencia… Están en campaña, entonces, tendremos que lidiar con eso, tener mucha paciencia día con día”, externó.Finalmente, el Ministro Laynez aseguró que Morena quiere
Anuncia SOTOP inversión de 600 mdp en los primeros 100 días de gobierno
VILLAHERMOSA, TAB., 07 DE OCTUBRE DE 2024.-
La Secretaría de Ordenamiento Territorial y Obras Públicas (SOTOP) dispondrá de una inversión de casi 600 millones de pesos a ejecutarse durante los primeros 100 días de gobierno para acciones de mantenimiento y recuperación de espacios educativos, caminos e infraestructura de agua potable y saneamiento.
Así lo dio a conocer el titular de la dependencia, Daniel Arturo Casasús Ruz, al precisar que 125.9 millones se emplearán –en acuerdo con la Secretaría de Educación– para rehabi-
litar planteles escolares, desde aulas y sanitarios, hasta equipos y nuevas techumbres.
En la conferencia matutina encabezada por el gobernador Javier May Rodríguez, Casasús Ruz aseveró que, por indicación del mandatario Javier May, en este sexenio “la obra pública va a ser para los tabasqueños y de los tabasqueños”. En el ejercicio informativo realizado en Palacio de Gobierno, el secretario presentó detalles de proyectos estratégicos, entre los que destacan la nueva Universidad de la Salud, para la cual está a punto de cerrarse la donación de un predio
de tres hectáreas por parte de Pemex, a un costado del Instituto Mexicano del Petróleo, así como el rescate de la Plaza de Toros como un centro de cultura y artes, con mirador, jardines, biblioteca, sala de exposiciones y talleres.
*TRANSPORTE FLUVIAL EN CARRIZAL*
Dio a conocer que para hacer realidad el nuevo Centro de Convenciones de Villahermosa, con 15 mil metros cuadrados y 4 mil cajones de estacionamiento, ya se cuenta con un terreno de 8.44 hectáreas en las inmediaciones del Parque Tabasco, y un
plan integral que considera un anillo de transporte fluvial de 34 kilómetros con 21 estaciones y un malecón en el río Carrizal.
“callar” a la Corte y externó su supuesta preocupación a que no se hayan acatado las resoluciones de jueces de distrito que intentaron frenar las labores del Legislativo y la publicación de la reforma en el Diario Oficial de la Federación (DOF), aún sabiendo que los amparos no tienen efecto en reformas constitucionales.
El funcionario agregó que la cartera de proyectos incluye la ampliación de la carretera Villahermosa-Escárcega, en el tramo Macuspanalímites con Campeche, además de la construcción del Tren Dos BocasEstación Chontalpa, dos obras que arrancarían en el año 2025 con el apoyo de la presidenta Claudia Sheinbaum Pardo. Indicó que el proyecto carretero ya está inscrito en la cartera de la Secretaría de Hacienda y Crédito Público con un costo de 5 mil 330 millones de pesos, y considera la ampliación de 108 kilómetros, con 35 puentes vehiculares, 26 puentes peatonales, tres pasos superiores vehiculares y 64 obras de drenaje.

MUDANZAS
Matando, salando y secando al sol
1.-Los delincuentes quieren disputarle la plaza al nuevo gobierno; se impondrá la ley, advierten
2.-Otra plaza que se define: la del poder político en la UJAT. Hoy defiunen terna en DACSyH
3.-Yolanda Osuna promete trabajar de la mano con el gobernador: la coordinación rinde frutos
SE EQUIVOCAN
QUIENES CREEN QUE
LE PUEDEN “ganar la plaza” al Estado mexicano y al gobierno trabasqueño. Ese intento de dominar el territorio lo vimos recientemente cuando delincuentes quemaron comercios y vehículos, en intentaron intimidar a la población. La respuesta fue contundente y hubo por lo menos seis detenidos, a quienes les decomisaron armas y
CIUDAD DE MÉXICO. Hasta el pasado 3 de octubre se han presentado 138 demandas de amparo en contra de la reforma al Poder Judicial de la Federación (PJF), de las cuales 35 fueron ya admitidas a trámite, informó este lunes la ministra Lenia Batres Guadarrama.
“Cabe destacar que de las 138 demandas de amparo contra la reforma judicial, en más de la mitad las juezas y jueces de conocimiento se han declarado impedidos o legalmente incompetentes. No obstante que deberían haberse declarado así el 100%, dada la improcedencia expresa contenida en el artículo 61, fracción I, de la Ley de Amparo. Es relevante este alto número de personas juzgadoras dispuestas a resolver conforme a derecho”, señaló en un comunicado.
drogas. Lo que está en proceso es una callada labor de inteligencia para desmantelar a las bandas que también se esconden en los cuerpos policiacos. Recordemos lo sucedido en diciembre pasado y que costó el cargo a Hernán Bermúdez. El secretario de seguridad, general Víctor Hugo Chávez llamó a la población para reportar de forma anónima al 089 cualquier información que ayude a esclarecer los hechos…y a ubicar posibles maleantes.
BIEN, MUY BIEN. DURANTE SU TOMA de protesta, la alcaldesa de Centro, Yolanda Osuna Huerta, prometió trabajar de la mano con el gobernador Javier May Rodríguez y respetar el humanismo en la entidad. Osuna Huerta destacó que su gobierno tiene
planeado cumplir con 75 compromisos para mejorar la calidad de vida de los habitantes de Centro. En ese sentido, la alcaldesa de Centro comentó que los compromisos están enfocado a en la competitividad, finanzas sanas, sustentabilidad, acceso a los servicios municipales entre otros. También se comprometió a mejorar los programas sociales, pero sobre todo ir de la mano con la presidenta Claudia Sheinbaum y con el mandatario May Rodríguez. Es lo que falta, coordinación.
EL TITULAR DE LA COORDINACIÓN ES-
TATAL para la Regularización de la Tenencia de la Tierra (CERTT), Francisco Sánchez Ramos, destacó que la principal tarea que le encomendó el gobernador Javier May es abatir el rezago exis-
tente en materia de legalización y titulación de predios en la entidad. El funcionario estatal apuntó que de forma conjunta con las autoridades de los sectores de Salud y Educación, trabajará para otorgar certeza jurídica patrimonial a los diversos inmuebles que ocupan hospitales, casas de salud y escuelas en el territorio tabasqueño. Pancho ya estuvo en CERTT pero fue uno de los despedidos por Carlos Merino por apoyar a Claudia Sheinbaum. TABASCO CERRÓ AGOSTO CON UNA Tasa de Desocupación (TD) de 3.4% de su Población Económicamente Activa (PEA), según los datos más recientes de la Encuesta Nacional de Ocupación y Empleo (ENOE) del INEGI. Este resultado representa una

disminución significativa del 1.1% en comparación con el 4.5% registrado en julio. Esta baja permitió que Tabasco dejara de ocupar el primer lugar en desempleo a nivel nacional, una posición que mantuvo durante varios años, incluyendo gran parte de las administraciones de Adán Augusto López Hernández y Carlos Manuel Merino Campos. Sin embargo, la tasa de desocupación del estado sigue siendo mayor al promedio nacional, que se sitúa en 3.0%.
DESDE EL TAPANCO MUY EMPODERADO SE SIENTE Rodolfo Campos Montejo en la UJAT donde junto al rector mueve sus piezas para quedarse con la dirección de Sociales y Derecho en la universidad. Sus vínculos con Humberto Mayans vienen de muy lejos. Hay quienes hablan de un atrincheramiento de las élites para frenar a la Cuarta Transformación. Pero como dicen Claudia y Javier, al cambio ya no lo detiene nadie.
Suman 138 amparos contra reforma judicial: Lenia Batres
Batres se basó en los datos públicos fel Sistema Integral de Seguimiento de Expedientes (SISE), del Consejo de la Judicatura Federal (CJF).
Detalló que en 56 de los juicios de amparo se concedió la suspensión provisional, mientras que en otros 8 se negó.
Además, se concedió la suspensión de plano (de oficio) en 36 asuntos y en otros nueve se negó.
También, titulares de 45 juzgados se han declarado impedidos, mientras que otros 25 determinaron su legal incompetencia para conocer del tema.
Permanecen pen-


VILLAHERMOSA, TAB., 07 DE OCTUBRE DE 2024.-
En el marco de la sesión ordinaria de este lunes, el Pleno de la LXV Legislatura aprobó por unanimidad de votos, reformas a la Ley Orgánica de los Municipios del Estado de Tabasco, en materia de elección de delegados, subdelegados, jefes de sector y jefes de sección.
El primer dictamen en someterse a consideración del Pleno, fue el relativo a modificar la Ley Orgánica de los Municipios del Estado de Tabasco, en materia de elección de delegados, subdelegados, jefes de sector y jefes de sección, ello con la finalidad de reforzar la democracia participativa y contribuir a una mayor legitimidad y transparencia en la gestión pública.
Dicho documento destaca la importancia de regresarle a la ciudadanía el derecho de elegir mediante sufragio directo, libre y secreto en el mes de diciembre del año de inicio de cada periodo constitucional, a sus autoridades comunales por un periodo de tres años. Como parte de las propuestas de designaciones presentadas por el titular del Poder Ejecutivo del Estado, también se sometió a consideración del Pleno de la LXV Legislatura el relativo al nombramiento de la Presidencia del Tribunal de Conciliación y Arbitraje del Estado.
Para ello, se aprobó un dictamen que determinó el cumplimiento de requisitos y la elegibilidad de los integrantes de la terna propuesta por el Gobernador del Estado, y se procedió a la elección de entre los integrantes de la terna la cual se conformó por Sion Andrea Martínez Martínez, Cora Ysmari Eresbey Pérez, y Benito Méndez Hernández.
Restablecen elección de delegados municipales
En este caso por unanimidad de votos mediante votación por cédula, se designó a Benito Méndez Hernández como magistrado Presidente del Tribunal de Conciliación y Arbitraje del Estado, a quien también tomó la protesta de ley.
De igual manera, a propuesta del Gobernador del Estado, el Congreso local avaló la ratificación de las ciudadanas Luz María Armenta León, como Magistrada de la Sala Superior, y María Eugenia Romero Lozano, como Magistrada de la Sala Unitaria Especializada en Materia de Responsabilidades Administrativas, ambas del Tribunal de Justicia Administrativa del Estado de Tabasco, quienes rindieron protesta al cargo.
Previo a la aprobación de los dictámenes, dentro del apartado de Iniciativas de leyes o decretos y proposiciones de acuerdo, se recepcionó la propuesta del diputado de la fracción parlamentaria del Partido Movimiento Ciudadano, Gerald Washington Herrera Castellanos, para reformar el artículo 32 de la Ley de los Trabajadores al Servicio del Estado de Tabasco.
La finalidad de la propuesta enviada para su análisis a la Comisión Ordinaria de Fortalecimiento Municipal, es homologar la norma secundaria a la federal para establecer que cada 1 de octubre de cada seis años, fecha en que el titular del Poder Ejecutivo Federal asume su encomienda, se otorgue como día de descanso.

En tanto, que el legislador Francisco Javier Cabrera Sandoval, de la fracción parlamentaria del PRD, planteó exhortar a las secretarías de Cultura y de Educación del Estado de Tabasco, efectúen las gestiones necesarias para la preservación de la lengua zoque (ayapaneco) originaria del municipio de Jalpa de Méndez.
La propuesta busca se apliquen medidas de preservación y revitalización de la citada lengua, mediante talleres y programas de capacitación, colaboración entre instancias educativas para elaborar proyectos en lengua ayapaneca, así como la organización de eventos culturales donde se resalte su riqueza cultural.
Dicha propuesta será analizada por las Comisiones Ordinarias de Educación, Ciencia y Tecnología, Cultura, Infancia, Juventud y Deporte; y de Bienestar Social, Asun-
tos Indígenas, Atención a Grupos Vulnerables, Adultos Mayores y Personas con Discapacidades. En otro orden de ideas, el legislador Cabrera Sandoval también propuso exhortar al Ayuntamiento Constitucional del Municipio de Jalpa de Méndez, para que solicite al Congreso del Estado, el cambio de categoría de Poblado Ayapa, al de Villa Ayapa. Al señalar que dicha demarcación cuenta con el criterio de población requerido, los servicios públicos y riqueza cultural reconocida en la región, la propuesta enviada a la Comisión Ordinaria de Gobernación y Puntos Constitucionales, enfatiza la importancia de que se lleven a cabo las gestiones necesarias para modificar su término.
Previamente, en correspondencia recibida se notificó del oficio enviado por la maestra
Nelly del Carmen Vargas Pérez, donde comunica su renuncia al cargo de titular del Instituto Estatal de las Mujeres (IEM) con efectos del 11 de octubre del 2024. Sobre dicho comunicado, el presidente de la mesa directiva, Marcos Rosendo Medina Filigrana dio a conocer que será analizado por las Comisiones Ordinarias de Gobernación y Puntos Constitucionales; y la de Derechos Humanos, Igualdad de Género y Asuntos de la Frontera Sur. Cabe destacar que, al inicio de la sesión ordinaria de este lunes, el Pleno de la LXV Legislatura guardó un Minuto de Silencio y posteriormente brindó un Minuto de Aplausos en memoria de la reconocida política Ifigenia Martha Martínez y Hernández, distinguida mexicana, cuya trayectoria profesional y política
PASA A LA 10...
Impugnaciones y denuncias, disputa por la reforma judicial
CIUDAD DE MÉXICO (RT).- La reforma judicial que aprobó el Poder Legislativo, promulgada por el expresidente mexicano Andrés Manuel López Obrador, sigue envuelta en una fuerte controversia debido a las 70 suspensiones emitidas por juzgados locales que pretenden frenar la inédita elección de jueces, magistrados y ministros de la Suprema Corte de Justicia de la Nación (SCJN), prevista para el próximo 1 de junio.
El debate parlamentario terminó a principios de septiembre con la aprobación de la reforma y López Obrador la promulgó a mediados de ese mismo mes. La entrada en vigor de la ley fue días antes de que la presidencia de México fuese asumida por Claudia Sheinbaum, quien ya anunció que la semana próxima se lanzará la convocatoria para el proceso electoral.
Las protestas y las sentencias en contra de la reforma han sido constantes a lo largo del proceso por parte de diversos juzgados estatales, que ordenaban frenar su discusión y luego su puesta en marcha.
No obstante, la decisión más polémica fue de la Suprema Corte de Justicia de la Nación (SCJN), que la semana pasada aprobó, por mayoría de votos, revisar la constitucionalidad de la nueva ley.
Lenia Batres, una de las tres juezas supremas que votaron en contra de esta posibilidad, denunció que se trataba de un “golpe de Estado” técnico, lo que volvió a tensar la relación entre la presidenta de

la SCJN, Norma Piña, y Sheinbaum.
“Yo más bien digo que es un golpe aguado, no un golpe de Estado”, advirtió la presidenta, quien minimizó el impacto que puede tener la revisión que hará la SCJN y descartó la posibilidad de sumarse a la judicialización de la reforma con denuncias contra los jueces.
“No tiene sustento lo que está haciendo la Corte y ellos lo saben. Los ministros y ministras
que votaron para analizar la reforma al Poder Judicial saben que están procediendo ilegalmente, lo saben porque son constitucionalistas y conocen la Constitución”, afirmó.
Cruces
Junto con los amparos solicitados y obtenidos en tribunales de por lo menos 15 de los 32 estados del país, los colectivos que impugnan la reforma también le exigieron al Instituto Nacional Electoral (INE) que suspendiera
el proceso, que culminará con unas elecciones para modificar por completo la integración del Poder Judicial.
El órgano electoral, sin embargo, continúa con los preparativos del proceso. Por ello, el pasado viernes, el Juzgado Segundo de Distrito del estado de Colima anunció que, si el INE no acata la suspensión de la elección de jueces, magistrados y ministros de la Corte, sus integrantes tendrán que pagar multas

millonarias e incluso se arriesgan a penas de prisión, destitución e inhabilitación.
En respuesta, el INE impugnó ante el Tribunal Electoral del Poder Judicial de la Federación (TEPJF) los amparos contra la elección, con el argumento de que los jueces de distrito no tienen competencia para interrumpir asuntos de materia electoral.
“A nombre del Consejo General, la encargada de despacho de la Secretaría Ejecutiva acusa que los jueces de distrito que han emitido hasta ahora 70 suspensiones y que imponen apercibimientos al INE de no acatarlas, invaden atribuciones de autoridades autónomas y obstaculizan sus funciones constitucionales”, señaló el expediente obtenido por el diario Milenio.
La controversia está lejos de terminar, ya que la oposición considera que el poder Ejecutivo desacata órdenes judiciales al continuar con la elección, en tanto que los órganos electorales, con el apoyo del Gobierno, tienen previsto iniciar oficialmente el proceso el próximo martes, con la convocatoria al inicio de las campañas de los aspirantes.
Restablecen elección de...
...VIENE DE LA 9
dejó una invaluable huella con visión social.
En tanto que, al término de la sesión, el presidente de la mesa directiva Marcos Rosendo Medina Filigrana, solicitó a sus compañeras y compañeros, guardar un Minuto de Silencio en memoria de Nydia Naranjo Cobián, referente de la lucha democrática del estado de Tabasco, de igual manera también se le brindó un Minuto de
Aplausos en reconocimiento al liderazgo, lucha social y congruencia de la extinta ex diputada de la LVIII Legislatura. En asuntos generales un integrante de cada fracción parlamentaria emitió sus consideraciones en torno a la reforma a la Ley Orgánica de los Municipios del Estado de Tabasco, participaron: Fabián Granier Calles, Martha Patricia Lanestosa Vidal, Elías Othoniel Abtanaim Madera Cordero, Miguel Ángel
Moheno Piñera, Nelson Humberto Gallegos Vaca, y Alma Lila Caudillo Ramos. Al emitir sus posicionamientos, las y los parlamentarios coincidieron en señalar que dicha reforma representa la suma de voluntades de todas las fuerzas políticas que conforman la LXV Legislatura, todo ello con el firme propósito de crear una sociedad más participativa y democrática. Al término de la
exposición de cada posicionamiento de las fracciones parlamentarias, el diputado Martín Palacios Calderón también participó en asuntos generales. Finalmente, el presidente de la Cámara de Diputados, Marcos Rosendo Medina Filigrana, clausuró los trabajos de este día, y convocó para los próximos que se llevarán a cabo a partir de las 17:00 horas del martes 8 de octubre.

VILLAHERMOSA, TAB., 07 DE OCTUBRE DE 2024.En sesión extraordinaria de Cabildo, los regidores del Ayuntamiento de Centro aprobaron diversos proyectos de acuerdo, destacando el Programa de Incentivos Fiscales para el pago del impuesto predial, los derechos por consumo de agua, el pago en parcialidades de adeudos de impuesto predial de años anteriores y de los derechos por consumo de agua de bimestres anteriores, que aplicarán del 07 de octubre al 31 de diciembre de este año.
La sesión se efectuó en el Salón Villahermosa del Palacio Municipal, donde el secretario del Ayuntamiento, José Antonio Alejo Hernández, confirmó el quórum con la asistencia de la edil, Yolanda del Carmen Osuna Huerta; el regidor y síndico de Hacienda, Johnny Magaña Álvarez; las regidoras María Cristina Payró Evia, Selena Velasco Vidal y Citlali Soto González.
El Programa de Incentivos Fiscales contempla que, en el pago de predial para contribuyentes cumplidos, se aplicará un 50 por ciento a adultos mayores y personas con discapacidad, aplicando a un máximo de dos cuentas prediales, acreditando la propiedad y pagando la totalidad del ejercicio fiscal.
Para contribuyentes con rezagos, perso-
Aprueba Centro incentivos en pago de predial y agua
nas físicas un incentivo del 50 por ciento y personas morales y/o jurídicas colectivas, 40 por ciento; en ambos casos aplica en recargos, gastos de ejecución y multas, en todas sus cuentas prediales y pagando la totalidad del adeudo.
En tanto, los adultos mayores y personas con discapacidad con rezago, el 50 por ciento de incentivo en rezago; y 65 por ciento a quienes tienen recargos, gastos de ejecución y multas, aplicando a dos cuentas prediales, acreditando la propiedad y pagando la totalidad del adeudo.
En agua potable para los contribuyentes cumplidos, a las personas físicas con tipo de consumo doméstico, el 20 por ciento; las personas morales y/o jurídico colectivas con consumo comercial e industrial, el 10 por ciento; en ambos conceptos deben estar al corriente en su pago del último bimestre facturado y aplica a todos sus contratos.
Para los adultos mayores y personas con discapacidad cumplidos, reciben el 50 por ciento en uso doméstico y deben estar al corriente en el pago del último bimestre facturado, lo cual apli-

ca a un máximo de dos contratos.
A los contribuyentes con rezagos: personas físicas con consumo doméstico, les otorgan el 20 por ciento en consumo de agua; a las personas morales y/o jurídico colectivas con consumo de uso comercial, industrial y público, el 10 por ciento.
En ambos casos por consumo de bimestres anteriores y aplica a todos sus contratos, pagando la totalidad del adeudo.
En cuanto a recargos y actualizaciones para las personas físicas, morales, y/o jurídico colectivas con consumo doméstico, comercial, industrial y público, aplica el 50 por ciento en todos sus contratos, pagando la totalidad del adeudo; en
tanto los adultos mayores y personas con discapacidad con consumo tipo doméstico, el 50 por ciento en consumo de agua y bimestres anteriores, al igual que en recargos y actualizaciones, aplicando solo a dos contratos.
Pagos en parcialidades
En predial el pago en parcialidades de adeudos de años anteriores será por ejercicio fiscal para las personas físicas, morales, y/o jurídico colectivas en rezagos, actualización, recargos, gastos de ejecución y multas, en todas sus cuentas prediales y pagando la totalidad del ejercicio fiscal. En los derechos por consumo de agua potable, las personas físicas, morales, y/o jurídico colectivas, con consumo
Investigación sobre asesinato de alcalde de Chilpancingo avanza, dice Sheinbaum
REGENERACIÓNMX, 7 DE OCTUBRE DE 2024.- La presidenta Claudia Sheinbaum informó que se están realizando investigaciones para esclarecer el asesinato del alcalde de Chilpancingo, Guerrero, Alejandro Arcos Catalán, quien fue asesinado apenas seis días después de asumir el cargo. Sheinbaum señaló
que se está evaluando la posibilidad de que la Fiscalía General de la República (FGR) atraiga el caso, aunque actualmente la investigación está a cargo de la fiscalía de Guerrero. La federación, sin embargo, ya está colaborando en las indagatorias. Al ser cuestionada sobre el homicidio del alcalde, Sheinbaum declaró: “Hoy en la mañana se
presentó el caso. Se están llevando a cabo las investigaciones necesarias para determinar el motivo del crimen y proceder con las detenciones”. La mandataria adelantó que el gabinete de seguridad nacional ofrecerá más información sobre el asesinato del alcalde en su próxima conferencia, donde se presentarán detalles adicionales del caso de Chil-
pancingo.Reitera Claudia Sheinbaum que se investigará a fondo caso de Chilpancingo Claudia Sheinbaum subrayó que, si bien Chilpancingo no figura entre los municipios con mayor índice de homicidios, han ocurrido recientes hechos violentos, como el asesinato del responsable de seguridad municipal. Además, señaló que como parte de la es-
doméstico, comercial e industrial, el incentivo es pago por 6 bimestres por consumo de agua de bimestres anteriores, así como en recargos, actualizaciones y otros cargos, lo cual aplica en todos sus contratos, pagando la totalidad de los 6 bimestres.
Por otra parte, en los trabajos de la sesión extraordinaria, el cuerpo edilicio autorizó por unanimidad el Manual de Identidad Gráfica e Institucional del municipio de Centro, para el periodo constitucional 2024-2027. También se aprobó el proyecto de acuerdo donde autorizan el Calendario de Sesiones Ordinarias del H. Cabildo de Centro, para los meses de octubre, noviembre y diciembre de 2024.
trategia de seguridad, se trabajará de manera coordinada con los gobiernos estatales, enfocándose en el fortalecimiento de los sistemas de inteligencia e investigación del Estado mexicano. Finalmente, Sheinbaum anunció que se presentarán modificaciones a las leyes de seguridad para mejorar la coordinación entre los sistemas de seguridad pública, inteligencia e investigación. Esto, con el fin de agilizar los procesos judiciales y asegurar la captura de los responsables de actos delictivos.
Por José Martínez
Vuelta Continua
Iniciativas de reformas legales, para fortalecer la democracia
Ayer el Congreso local aprobó el paquete de iniciativas enviadas por el Ejecutivo estatal para elevar a rango constitucional los programas sociales, devolver a los ciudadanos el derecho a elegir a sus delegados municipales, ajustar a la baja el salario mensual del gobernador y dejar asentado que ningún servidor público del estado puede ganar más que él, así como establecer en nuestra Carta Magna la revocación de mandato.
Estas iniciativas dan cumplimiento a compromisos asumidos en
campaña por el hoy gobernador, Javier May Rodríguez. Son asuntos de relevancia que repercutirán positivamente en los ciudadanos, sobre todo porque convierte en derechos sociales los apoyos que a partir del próximo año recibirán.
Además, los tabasqueños tendrán la oportunidad de revocar el mandato del gobernador si éste no cumple lo prometido o no está a la altura de las circunstancias. Así como el pueblo pone, puede quitar. De eso se trata también la democracia. El mandatario ha

demostrado que es un hombre de palabra y que mandará obedeciendo al pueblo. Sabe que tiene una enorme responsabilidad y que cuenta con el respaldo del 80 por ciento del pueblo, por tanto, también sabe que no puede fallar, y sin temor, se someterá al veredicto popular a la mitad de su sexenio.
Será el séptimo gobernador en hacer efectiva la revocación de mandato. Hasta donde se tiene conocimiento en los estados de Baja California Sur, Sinaloa, Nuevo León, Zacatecas, Guerrero, Morelos, Oaxaca se ha adecuado la Constitución local con la federal.
El 20 de diciembre de 2019 se publicó en el Diario Oficial de la Federación el Decreto que reformó y adicionó diversas disposiciones de la Constitución federal en materia de consulta popular y revocación de mandato, promovidas por el expresidente Andrés Manuel López Obrador, el primero en someterse a esa consulta ciudadana.
En un transitorio de ese decreto quedó establecido que “las constituciones de los estados establecerán las normas relativas a los procesos de revocación de mandato del gobernador de la entidad”.
Daba un plazo de 18 meses a las legislaturas locales para que incluyeran en sus constituciones locales esta figura de democracia participativa. Sin embargo, no todas las entidades federativas han cumplido con esta disposición y ya rebasaron por mucho el plazo establecido.
En la iniciativa, el Ejecutivo considera que la participación del pue-

mero al seis del presente mes fueron arrestadas 21 presuntos delincuentes. Hay la firme determinación de garantizar la paz y la tranquilidad a los tabasqueños.
blo debe ser permanente, principalmente, en la toma de decisiones, es el modo de “empoderar al pueblo de Tabasco para que exista una verdadera democracia participativa”. Con la revocación de mandato, señala en su exposición de motivos, los tabasqueños “tendrán la garantía de que el poder no estará en manos de unos cuantos, ahora será del pueblo,” y que podrán solicitar “la conclusión anticipada en el desempeño del cargo por la pérdida de la confianza”.
Si un mandatario cumple lo que promete y gobierna por y para el pueblo, como es el caso que nos ocupa, no hay nada que temer, se puede someter a cualquier escrutinio ciudadano.
PRIMERA PARADA
En la tercera conferencia matutina del gobernador, se rindió un parte informativo sobre lo que en materia de seguridad están haciendo las fuerzas federales y estatales para combatir la inseguridad y devolver la paz y la tranquilidad al estado. Fue el comandante de la 30 Zona Militar, Héctor Francisco Morán González, quién informó de los resultados del operativo “Tabasco Seguro”, implementado desde febrero pasado, y que hasta la fecha ha sido positivo. Destaca por su importancia la detención de mil 232 personas relacionadas con actividades ilícitas, el aseguramiento de 622 armas largas, así vehículos y drogas. Además, se logró liberar a 60 personas secuestradas y detener a los responsables de esta privación ilegal. Tan solo del pri-
SEGUNDA PARADA
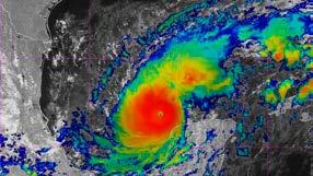
El domingo pasado se instaló el Consejo Estatal de Protección Civil y se declaró listo ante cualquier el riesgo y ese riesgo lo representa el huracán Milton, que provocará intensas lluvias en el estado en las próximas horas a su paso por la costa mexicana del Golfo de México.
Este fenómeno meteorológico, categoría cinco, se situaba ayer por la tarde frente a las costas de Campeche y Yucatán. Según el Servicio Meteorológico Nacional es poco probable que toque tierra en las cosas mexicanas al menos que modifique su trayectoria. Se estima que impactará de lleno en Florida, Estados Unidos. Es la primera prueba para las autoridades estatales y municipales, sobre todo porque hay varios puntos susceptibles de inundarse ante un temporal como el que se avecina con Milton, y que ponen en riesgo a medio millón de habitantes del estado, de acuerdo a todas de Protección Civil estatal.
PARADA ESPECIAL
Siete aspirantes fueron propuestos para la dirección de Ciencias Sociales, antes Escuela de Derecho de la UJAT. Hay una lucha silenciosa entre el cambio y el conservadurismo.
En las actuales circunstancias, el conservadurismo está representado por notarios y abogados, que fueron quienes organizaron la marcha contra las reformas a poder judicial de López Obrador y Claudia Sheinbaum. Son quienes oponen y opondrán resistencia a Javier May. Hagas sus apuestas.

CIUDAD DE MÉXICO (SPUTNIK).-
La fauna marina que habita en el golfo de California, al noroeste de México, y que alberga casi 40% de los mamíferos marinos del mundo, estaría en un grave riesgo por el proyecto de una empresa estadounidense que busca construir un gasoducto y una planta de licuefacción de gas en las costas del estado mexicano de Sonora.
El proyecto se lleva a cabo por parte de la empresa estadounidense Mexico Pacific Limited y busca extraer gas de Texas, transportarlo a través de gasoductos hasta la localidad de Puerto Libertad, en la costa de Pacífico mexicano, embarcarlo en buques y llevarlo hacia diversos países asiáticos.
Con una inversión de alrededor de 15.000 millones de dólares, México Pacific dice contar con el apoyo tanto del Gobierno federal como de los gobiernos locales de Sonora y Chihuahua –por donde cruzará el gasoducto— e incluso firmó el año pasado un convenio con la empresa paraestatal mexicana Comisión Federal de Electricidad (CFE), mediante el cual la compañía mexicana comprará el gas en Texas y lo proveerá a la planta de licuefacción de Puerto Libertad durante al menos 20 años.
Alberto Alonzo, uno de los directivos de Mexico Pacific Limited, dijo en un junio pasado que la empresa ya tenía todos los permisos de las autoridades mexicanas y estaba lista para iniciar la construcción del gasoducto y de la planta de licuefacción.
Sin embargo, ambientalistas aglutinados en la campaña Ballenas o gas, señalan que la Secretaría de Medio Ambiente de México aún no otorga la aprobación del proyecto para la planta de licuefacción y confían
Petrolera de EU podría causar “daños irreparables” en el golfo de California
en que la nueva Administración encabezada por la presidenta Claudia Sheinbaum —una licenciada en física, maestra en ingeniería energética y doctora en ingeniería ambiental— pueda detener el proyecto.
Imposible en EEUU, pero viable en México Claudia Campero, geógrafa y activista integrante de la campaña Ballenas o gas y colaboradora de la organización no gubernamental Conexiones Climáticas, explicó a Sputnik que el proyecto se consolida después del resurgimiento de la industria de gas en Estados Unidos –a partir de la utilización de la polémica práctica conocida como fracking–, que provoca superávits de gas que la industria del país norteamericano intenta colocar en mercados en todo el mundo.
De acuerdo con la especialista, el plan de Mexico Pacific Limited se lleva a cabo en parte en territorio mexicano por las dificultades y los costos políticos que existen en la costa oeste de Estados Unidos para desarrollar un proyecto de esta envergadura.
“Políticamente no es viable en Estados Unidos, en la costa oeste, construir esta clase de infraestructura, por la resistencia de la población local que está en contra de esta clase de proyectos”, dijo Campero.
Daños irreparables
Según la organización
Mar y Educación Ambiental (Marea), también parte de la campaña, el proyecto de Mexico Pacific Limited afectaría a la población de ballenas, delfines y otros tipos de mamíferos marinos que habitan en el golfo de California,

un área clave de la que dependen estos animales para su alimentación, crianza y reproducción.
Según organización, el incremento del tráfico marítimo podría aumentar significativamente la mortalidad de ballenas debido a colisiones con embarcaciones, un riesgo que se amplifica cuando las rutas de navegación se superponen con áreas críticas para las ballenas. Además, los ruidos submarinos pueden interferir con la comunicación y el comportamiento de los cetáceos.
La compañía estadounidense calcula que unos tres buques tanqueros saldrían cada semana de la planta de licuefacción de gas en Puerto Libertad.
“Este proyecto representa una grave amenaza para el golfo de California y las ballenas, con el potencial de causar daños irreparables”, señala Marea en un comunicado.
Aportación a la crisis climática
Por otra parte, las emisiones de gases de efecto invernadero generadas por el proyecto acelerarían el cambio climático global, aumentando la amenaza para las ballenas y otras especies.
La empresa estadounidense afirma que
el proyecto representa la mayor inversión extranjera en la historia de México y argumenta que ayudaría a disminuir las emisiones de gases de efecto invernadero al reducir la distancia que recorrerían los buque-tanques que tendrían que optar por la ruta del golfo de México, cruzar por el Canal de Panamá y luego llegar al océano Pacífico.
Campero señala, sin embargo, que la empresa parte de una premisa incorrecta.
“Su premisa es que de cualquier manera este gas se va a extraer y de cualquier manera este gas va a ir hacia Asia, y eso no tiene por qué ser así. Nosotros nos negamos a agravar la crisis climática y entonces es falso lo que dicen empresa y agrava la crisis climática”, dijo Campero, quien también es maestra en Ciencias en Desarrollo y Planeación Urbana por el University College London.
Empleos efímeros
La empresa energética estadounidense y las autoridades mexicanas que han promovido el proyecto calculan que este generará alrededor de 13.000 empleos directos y unos 21.000 empleos indirectos, además de que se consumirán insumos producidos en Méxi-
co.
Campero hace hincapié en que estos empleos se generarán en la etapa de la construcción, pero es muy difícil que se mantengan durante la operación de gasoducto y de la planta de licuefacción. Además, señala que, en otros casos similares, lo que sucedió es que se trajo a trabajadores muy especializados de otros países como la India.
Momento clave y movilización
La defensora del medio ambiente confía en que las nuevas autoridades en el Gobierno de México, tanto la propia presidenta Claudia Sheinbaum como la nueva secretaria de Medio Ambiente y Recursos Naturales, Alicia Bárcena, frenen este proyecto por los graves daños ambientales y al ecosistema del golfo de California y otros proyectos similares que buscan extraer gas en EEUU y, luego, exportarlo a través de terminales portuarias en México.
Campero estima que hay al menos una decena de proyectos similares al Mexico Pacific Limited en distintas etapas de desarrollo.
PASA A LA 14...
Petrolera de EU podría causar “daños...
“Los daños que representa esta clase de proyectos para una persona como Bárcena o para una persona como Sheinbaum son perfectamente comprensibles; ellas deben entender”, dice Campero. Para la ambienta-
VILLAHERMOSA, TAB., 07 DE OCTUBRE DE
2024.- El Gobierno de Tabasco, encabezado por Javier May Rodríguez, pondrá en marcha una serie de proyectos clave para impulsar el desarrollo urbano, la infraestructura y la regularización de la tenencia de la tierra en todo el estado, en cumplimiento de los 50 Compromisos de la actual administración.
La subsecretaria de Obras Públicas, Victoria Arévalo Centeno, informó que se están revisando 18 proyectos heredados de la administración anterior, entre los que destaca el Puente Grijalva 2, una obra de 620 metros de longitud que se espera concluir de manera inmediata.
lista, el momento para actuar es importante porque se está en una etapa en la que la empresa aún no inicia la construcción del gasoducto ni de la planta, sino que está en negociaciones con los dueños de la tierra, los predios, aunque es posible que ya tenga amarrados a los
compradores en Asia.
“Creemos que estamos en la mejor de las oportunidades para decir que esto no se debe de construir”, comenta.
Por lo pronto, la campaña Ballenas o gas está llamado a la movilización de la sociedad civil aprovechando la sim-
En el gobierno de May:
En
patía que despiertan las ballenas.
En su pagina web, pide pintar un mural, organizar charlas informativas en escuelas y otras actividades.
Hasta ahora, más de 54.000 personas han firmado una petición dirigida a la presidenta

Sheinbaum para frenar el proyecto.
“Este proyecto es completamente incompatible con la vida y presencia de mamíferos marinos en el golfo de California, pero tú puedes ayudarnos a detenerlo con tu firma y tu movilización.
¿Ballenas o gas? Es evidente que decimos: ¡ballenas!”, señalan los activistas
100 días habrá avance en proyectos de infraestructura y regularización de tierras
Además, Arévalo Centeno explicó que se elabora un dictamen de impacto urbano para evaluar el efecto de las nuevas obras en el entorno, en estricto apego a las leyes de hidrocarburos y asentamientos urbanos.
Por su parte, el subsecretario de Ordenamiento Territorial y Desarrollo Urbano, Arturo Priego Rodríguez, anunció que se trabaja en el Dictamen de Procedencia, Regulación de Uso y Destino de Predios.
Este dictamen será fundamental para regularizar la situación de las familias que habitan en zonas irregulares, en colaboración con la Coordinación de la Tenencia de la Tierra (CERTT), asegurando así la certeza jurídica para cientos de familias.
A su vez, Francisco Sánchez Ramos, titular de la CERTT, anunció que en los primeros 100 días de gobierno se entregarán 444 títulos de propiedad, beneficiando a familias de Huimangui-
llo, Jalpa de Méndez, Nacajuca y Macuspana. Este esfuerzo forma parte de una meta a largo plazo de entregar 8 mil títulos durante el sexenio, con una meta intermedia de mil 334 títulos a ser otorgados en 2023, superando así la meta de la administración anterior.
Por su parte, Mario González Noverola, titular de la Junta Estatal de Caminos y Puentes, informó que en 2025 se realizarán acciones de pavimentación en los 17 municipios de Tabasco. Además, se llevarán a cabo rehabilitaciones en puentes de Cárdenas, Centla, Emiliano Zapata, Huimanguillo, Jonuta, Tacotalpa, Teapa y Tenosique.
Huracán Milton amenaza la península de Yucatán
REGENERACIÓNMX, 7 DE OCTUBRE DE 2024.
El huracán Milton, que rápidamente alcanzó la categoría 5 este lunes en el Golfo de México, generará lluvias torrenciales y vientos fuertes.
De acuerdo con el Servicio Meteorológico Nacional (SMN), las lluvias se presentarán en la península de Yucatán y el oriente de México; las autoridades emitieron alertas de prevención por los efectos del ciclón en diversos estados.

El fenómeno, que se ubica a 130 kilómetros al noroeste de Celestún, Yucatán, el cual podría impactar entre Celestún y Progreso la noche del lunes. Las bandas nubosas afectarán principalmente a Yucatán, el norte de Campeche y Quintana Roo.
Huracán Milton se diri-
ge hacía Florida
De acuerdo con la Comisión Nacional del Agua (Conagua), el huracán se ubicó a tan solo 115 km del norte de Celestún, por lo que su trayectoria sigue siendo a las costas de Yucatán.
“El centro del huracán Milton categoría 5 se localiza a 100 km al noroeste de Progreso y a 115 km al norte de Celestún, localidades de Yucatán. Presenta vientos máximos sostenidos de 285 km/h y rachas de 350 km/h, su desplazamien-
En particular, destacó la rehabilitación del puente sobre el camino del Poblado C-11 al Naranjeño, en Cárdenas, con una longitud de 108 metros lineales y siete metros de ancho, que presenta daños estructurales en algunos de sus elementos.
to es hacia el este a 17 km/h”, se reportó.
Además, se esperan rachas de viento de hasta 200 km/h y oleajes de entre 6 y 8 metros en las costas del Golfo de México.
Ante la llegada de Milton, el gobernador de Yucatán, Joaquín Díaz Mena, anunció la suspensión de clases y labores no esenciales a partir de la 1 p.m.; además, recomendó a la población mantenerse resguardada.
“Estamos ante un huracán con una trayectoria atípica”, advirtió el mandatario estatal. El huracán Milton también amenaza a la costa oeste de Florida, donde ya se emitieron órdenes de evacuación en Tampa Bay.

CIUDAD DE MÉXICO (SPUTNIK).- La Corte Suprema de Estados Unidos revisará este 7 de octubre la demanda presentada por el Gobierno de México contra fabricantes y distribuidores de armas estadounidenses, a los que el país latinoamericano acusa de fomentar la violencia en México.
De acuerdo con estimaciones del Gobierno mexicano, entre 200.000 y 600.000 armas adquiridas en Estados Unidos son traficadas a México cada año y muchas de ellas terminan en manos de integrantes de grupos del crimen organizado.
Desde el 2011, México ha experimentado a un aumento exponencial de los homicidios y la violencia vinculada a los grupos narcotraficantes. Según datos del Instituto Nacional de Estadística y Geografía (INEGI), solo en el 2023 se produjeron 31.064 defunciones por homicidio en el país.
En su demanda contra los fabricantes de armamento, México argumenta que el 70% de las armas de fuego traficadas a México provienen de Estados Unidos, y solo en 2019, al menos 17.000 homicidios estuvieron relacionados con estas armas traficadas.
De acuerdo con un reporte publicado por el diario estadounidense The Wall Street Journal, los grupos criminales en México cada vez están usando armas más sofisticadas y de mayor poder destructivo. Según el periódico, estas serían algunas de las armas más codiciadas por los narcotraficantes en México:
Con un costo aproximado de 50.000 dólares (un millón de pesos mexicanos), es
Estas son las armas más codiciadas por el crimen organizado en México
una ametralladora de seis cañones que, de acuerdo con el medio estadounidense, puede destruir un vehículo en minutos. José Alberto Baena, exjefe de seguridad en la ciudad de Morelia, al oeste de México, dijo al diario que estas armas están reservadas para los altos mandos de los cárteles, como Nemesio Oseguera El Mencho, jefe del Cártel Jalisco Nueva Generación (CJNG).
“No todo el mundo tiene la capacidad para utilizar estas sofisticadas armas”, dijo Baena.
De acuerdo con el reporte, el Ejército mexicano incautó la primera Minigun M134 en una escena del crimen en 2018.
El arma se utiliza principalmente para repeler a las fuerzas especiales mexicanas o cuando se entra en una zona de combate para objetivo predeterminado y salir rápidamente.
“En un ataque con una ametralladora de varios cañones, son miles de balas por minuto (...) Así que no hay oportunidad de reaccionar”, explicó Baena.
Los fusiles antimaterial de Barrett
Conocidos en México como los “matapolicías”, estas armas fueron diseñadas para perforar blindaje y penetrar muros. Es muy popular entre los grupos criminales que utilizan el arma para repeler cañoneras militares y vehículos blindados.
Los Barretts se asignan a miembros de bandas de nivel medio, algunos entrenados en operaciones de

combate. “Son las personas que realmente están luchando contra las fuerzas federales”, dijo Baena a The Wall Street Journal.
Uno de estos fusiles fue hallado en los vehículos en los que viajaban agresores del ahora secretario de Seguridad Pública y Protección Ciudadana del Gobierno de México, Omar García Harfuch, cuando este sufrió un atentado en la Ciudad de México, en junio de 2020, y del cual salió ileso.
El costo aproximado de este tipo de fusiles es de 5.000 dólares, unos 100.000 pesos mexicanos.
Con un costo aproximado de 10.000 dólares (200.000 pesos mexicanos), es un arma muy preciada para los principales capos de la droga en México, según dijo al medio estadounidense Timothy Sloan, exagregado en México de la Oficina de Alcohol, Tabaco, Armas de Fuego y Explosivos.
Es una ametralladora ligera con potencia de fuego devastadora debido a la posibilidad de emplear cintas de
hasta 200 cartuchos.
Tiene una cadencia de tiro de unos 850 disparos por minuto y se utiliza para mantener al enemigo inmovilizado mientras otros combatientes se mueven, de acuerdo con el reporte. “Es más como un bolso de Gucci. Es una forma de reconocer quién está al mando de los equipos del cártel. ¿Quién es el jefe? ¿Quién es el más cercano al liderazgo?”, describió Sloan.
Los cárteles intentan cada vez más imitar el aspecto de los equipos de élite de las fuerzas del orden, y la M249 SAW forma parte de esa parte de esa imagen, dijo a The Wall Street Journal Romain Le Cour, especialista en criminalidad y violencia en México. “Los cárteles de la droga quieren verse muy profesionales”, afirma.
Lanzagranadas De acuerdo con el reporte, las bandas de México también utilizan lanzagranadas contrabandeados desde Estados Unidos y otros países.
Entre ellos figuran el misil antitanque M72 y el LAW que se ha utilizado contra el Ejército mexicano y en vehículos blindados improvisados conocidos en México como “monstruos”.
Las Fuerzas Armadas de México incautaron 127 lanzagranadas entre 2008 y 2023, según datos de la Secretaría de la Defensa citados por el periódico.
Las pistolas Beretta de calibre .22 De aproximadamente 400 dólares (8.000 pesos mexicanos), se entrega a los miembros del cártel, incluidos niños reclutados, para luchar para las bandas, dijo el consultor en seguridad David Saucedo.
“Se utilizan para matar a un comerciante, un taxista”, añadió Saucedo.
Además, los nuevos reclutas reciben armas baratas impresas en 3D o armas artesanales que suelen ser poco precisas y no suponen una gran pérdida si el sicario muere en combate.
Director General: Lic. Carlos Pérez Mendoza

Rinden homenaje en San Lázaro a Ifigenia Martínez
n“Una
mujer luchadora se va”
REGENERACIÓNMX, 7 DE OCTUBRE DE 2024.- Durante un homenaje en el Congreso de la Unión, Ifigenia Martínez fue recordada como una pionera en la lucha por la democracia y la igualdad de género en la vida pública de México. El evento, que tuvo lugar en el salón de plenos de la Cámara de Diputados, incluyó 14 guardias de honor junto al féretro de la destacada economista y política.
Al concluir el acto, la secretaria de Gobernación, Rosa Icela Rodríguez, expresó su tristeza por la pérdida de una figura tan importante en la historia del país. Rodríguez la calificó como una precursora del movimiento democrático y destacó las lecciones que dejó a las mujeres mexicanas.
Además de la secretaria de Gobernación, estuvieron presentes en el homenaje diversos funcionarios y políticos, entre ellos la gobernadora del Estado de México, Delfina Gómez, y el gobernador de Puebla, Sergio Salomón Céspedes. También asistieron Alfonso Suárez del Real y otros representantes del gobierno federal.
Durante la ceremonia, el vicepresidente de la mesa directiva, Sergio Gutiérrez Luna, leyó el mensaje que Ifigenia Martínez había preparado para la toma de protesta de Claudia Sheinbaum, pero que no pudo pronunciar debido


En la Cámara de Diputados, los senadores y legisladores de la Cámara Baja montaron una guardia de honor para la diputada de Morena, Ifigenia Martínez.
a problemas de salud.
En su discurso, Martínez expresó su orgullo por la llegada de una mujer a la presidencia de México. El coordinador de los diputados de Morena, Ricardo Monreal, describió el discurso de Ifigenia como premonitorio. Señaló que ella parecía
preparada para partir, habiendo visto cumplido el sueño por el que luchó durante toda su vida. La definió como una mujer íntegra, que nunca abandonó sus principios ni sucumbió ante la corrupción. Legisladores de otros partidos también
elogiaron a Martínez. Noemí Luna, del PAN, resaltó la invitación al diálogo y la pluralidad en su mensaje, destacando la huella que dejó en las futuras generaciones. Finalmente, Emilio Suárez Licona, del PRI, calificó a Ifigenia Martínez como una figura histórica que
dedicó su vida al fortalecimiento de la participación de la mujer en la política. Con esta ceremonia, la figura de Ifigenia Martínez fue reconocida como un ejemplo de dignidad, ética y compromiso en la lucha por la democracia y la igualdad en México.
Marina decomisa tres toneladas de cocaína
CIUDAD DE MÉ-
XICO (SPUTNIK).- La Marina de México aseguró, en dos acciones, aproximadamente 3,2 toneladas de cocaína que era transportada en aguas del Pacífico mexicano, informó este 7 de octubre este cuerpo castrense.
Personal naval de la décima región naval también logró la detención de siete presuntos
narcotraficantes frente a las costas de Manzanillo, Colima, al occidente del país latinoamericano.
En una primera acción, durante patrullajes de vigilancia marítima, marinos a bordo de una unidad de superficie de la Armada de México, localizó bultos balizados flotando en la mar, mismos que en su interior contenían cocaína, con un peso aproximado de
1,8 toneladas. En una segunda acción, el personal naval aseguró una carga ilícita con un peso aproximado de 1,4 toneladas.
Fue en ese movimiento cuando detuvieron a los presuntos responsables.
Tanto los detenidos como el narcótico asegurado fueron puestos a disposición ante la Fiscalía General de la República (FGR), con el
fin de que la autoridad ministerial integre las carpetas de investigación correspondientes, señaló la Marina. De acuerdo con la institución militar, estas acciones son parte de las operaciones de vigilancia marítima, aérea y terrestre que efectúa la Armada de México para inhibir al crimen organizado que opera en diferentes zonas del país.