Juniper Glen North CC&R's

Page 1


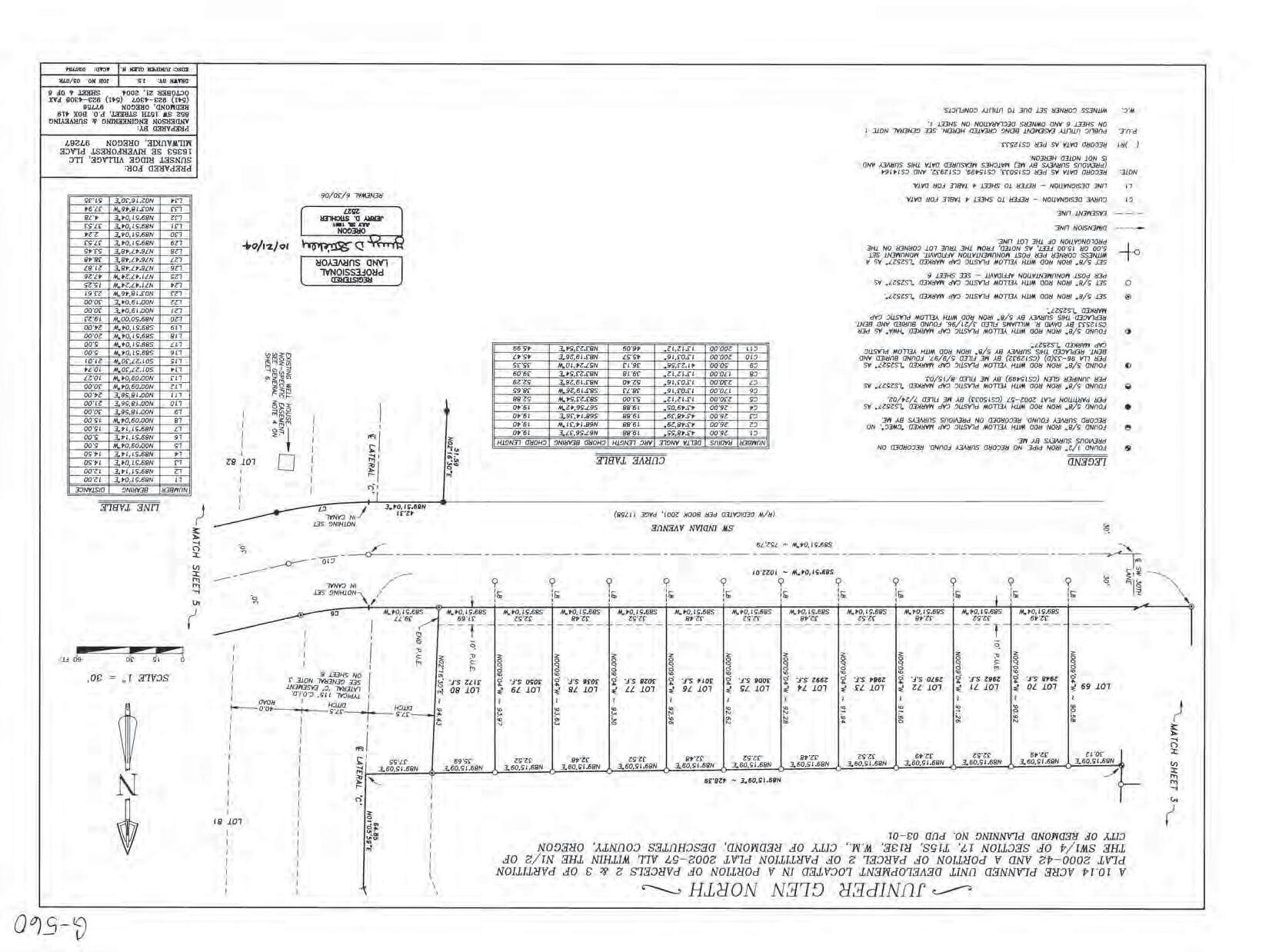
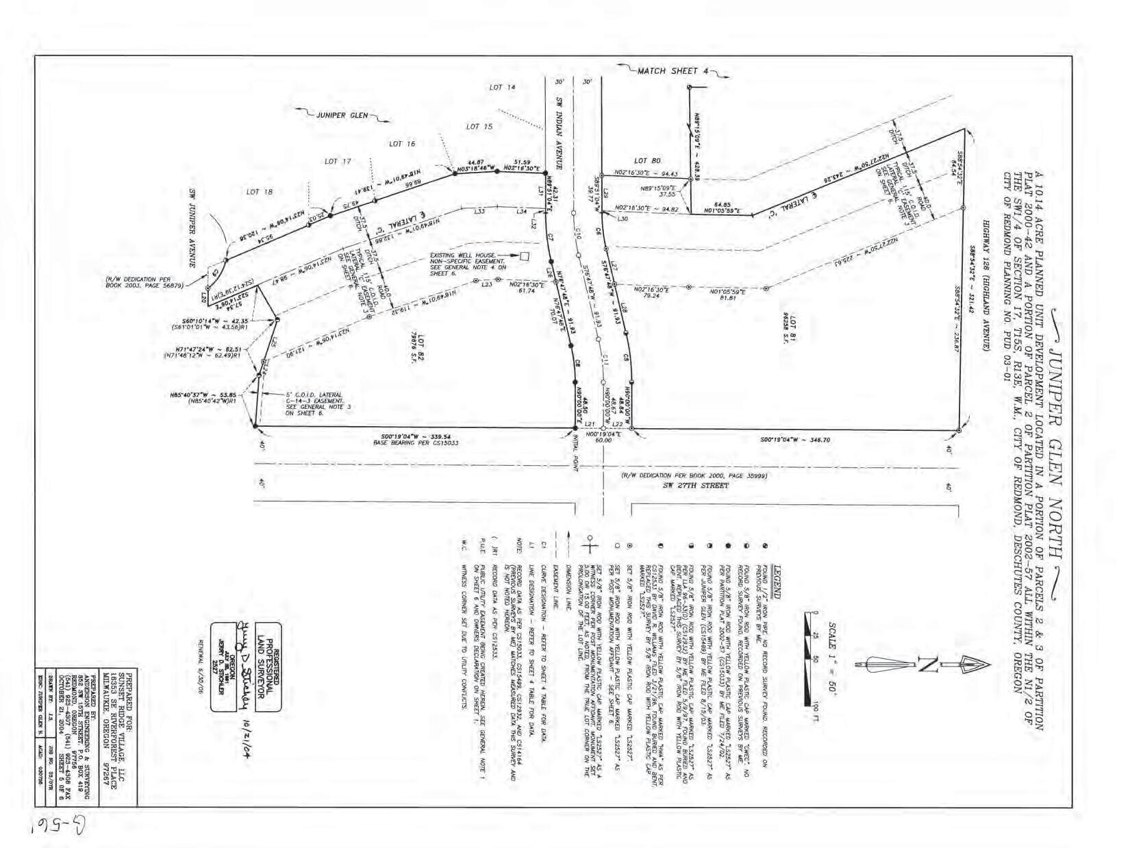
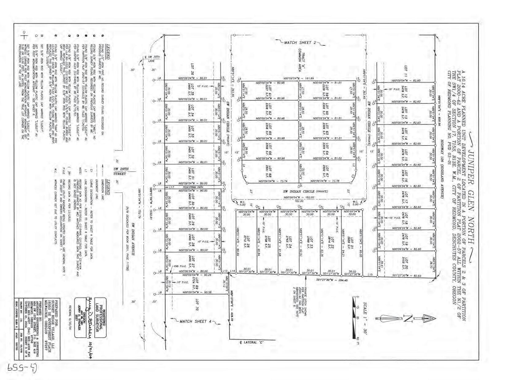
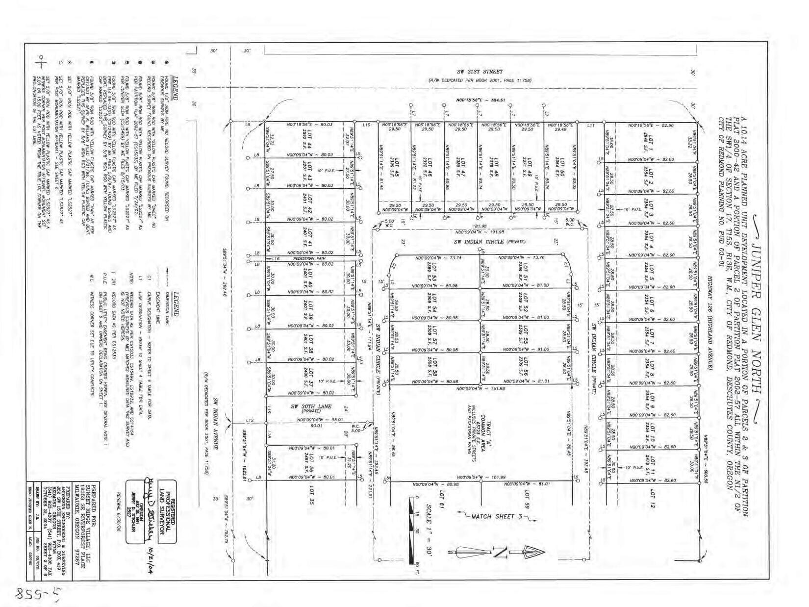
JUNIPER GLEN NORTH

A 10.14 ACRE PLANNED UNIT DEVELOPMENT LOCATED IN A PORTION OF PARCELS 2 & 3 OF PARTITION PLAT PLAT 2000-42 AND A PORTION OF PARCEL 2 OF PARTITION PLAT 2002-57 ALL WITHIN THE N1/2 OF THE SW1/4 OF SECTION 17, T15S, R13E, W.M., CITY OF REDMOND, DESCHUTES COUNTY, OREGON CITY OF REDMOND PLANNING NO. PUD 03-01

OWNER'S DECLARATION

KNOW ALL PEOPLE BY THESEPRESENTS THAT SUNSET RIDGE VILLAGE, LLC. IS THE THELANDS SHOWN ON THIS PLAT OF JUNIPER GLEN NORTH, THE BOUNDARY OF WHICH IS MORE PARTICULARLY DESCRIBED IN THE ATTACHED SURVEYOR'S CERTIFICATE, AND THAT WITH THE CONSENT OF J. FRANK SCHMIDT & SON COMPANY PROFIT SHARING TRUST AS AN ASSIGNEE OF MORTGAGEE'S INTEREST UNDER DOCUMENT RECORDED ON FEBRUARY 22, 2002 IN BOOK 2002, PAGE 10518, OFFICIAL DESCHUTES COUNTY RECORDS, ANDTHATWITHTHE CONSENT OF E.R. "MAX MILLS AS A TRUST DEED BENEFICIARY UNDER OFFICIAL DESCHUTES COUNTY RECORDS, AND THAT WITH THE CONSENT AGE 37866, SCHMIDT & SON COMPANY PROFIT SHARING TRUST AS A TRUST DEED BENEFIGIARY UNDF LINE OF CREDIT TRUST DEED RECORDED ON APRIL 11, 2002 IN B0OK 2002, PAGE 20238 AL DESCHUTES COUNTY RECORDS, AND THAT WITH THE CONSENT OF LIBERTYBANK, AS A TRUST DEED BENEFICIARY UNDER DEED OF TRUST RECORDED ON MAY 13, 2004 IN BOOK 2004, PAGE 27978, OFFICIAL DESCHUTES COUNTY RECORDS, SUNSET RIDGE VILLAGE, LLC. CAUSED THE SAME TO BE SURVEYED, SUBDIMIDED, AND PLATTEDINTOLOTSAND TRACTS AS SHOWN HEREON, ANDTHAT SUNSET RIDGE VILLAGE, LL.C. DOES HEREBY LLC. DOES HEREBY GRANT TO THE PUBLC OEVION, AND THAT SUNSET RIDGE VILLAGE, SHOWN HEREON.

ACKNOWLEDGMENT

STATE OF OREGON COUNTY OF Clackamas os

ON THIS 25th DAY OF Octuber

THAT SHE IS A Trustee BEFORE ME PERSONALLY APPEARED Jan E. Barkley WHO SWORN, STATED HMIDT & SON COMPANY PROFIT SHARING TRUST WHO IS AUTHORIZED SOING NSTRUMENT AND ACKNOWLEDGED SAID INSTRUMENT TO B DEED OF J. FRANK SCHMIDT & SON COMPANY PROFIT SHARING TRUST

Kathy Moiun

D NME: Kathy Morrison NOTARY PUBLIC- OR OMMISSION 378803

MYCOMMISSION EXPIRES april 4,2008.

INDEX

SHEET 1 - OWNERS DECLARATION, ACKNOWLEDGMENTS, WATER RIGHTS STATEMENT, APPROVALS.

SHEET 2- LOTS 1-11, LOTS 36-58.

SHEET 3- LOTS 12-35, LOTS 59-69.

SHEET 4-LOTS 70-80, CURVE TABLE, LINE TABLE.

SHEET 5 - LOTS 81-82.

SHEET 6- SURVEYOR'S CERTIFICATE, POST MONUMENTATION AFFIDAVIT, GENERAL NOTES, BASIS OF BEARINGS, NARRATIVE.

APPROVALS

THS PLAT OF JUNIPER GLEN NORTH, LOCATED AS DESCRIBED IN THE ATTACHED SURVEYOR'S CERTIFICATE

GENTRAL OREGÖN IRRIGATIONDISTRICT I HEREBY CERTIFY THAT ALL TAXES ARE PAID TO THIS DATE.

J. FRANY SCHMIDT & SON COMPANY PROFIT SHARING TRUST

Yau & Barbley

BY: Bn Jan E. Barkley, Trustee

(PRINTED NAME AND TITLE)

&Tma mills

LIBERTYBANK

Br Michael R Stillay, Vica Presidant

ACKNOWLEDGMENT

STATE OF OREGON COUNTY OF Clackamas

ON THIS STDAY OF Cetober,2004, BEFORE ME PERSONALLY APPEARED STEVEN STOELK, WHO BEING DULY SWORN, STATED THAT HE IS A MEMBER OF SUNSETRIDGE VILLAGE, LLCTHAT IS AUTHORIZED TO EXECUTE THE FOREGOING INSTRUMENTANDACKNOWLEDGEDSAIDINSTRUMENT TO BE THEVOLUNTARY ACT AND ALLAGE,

Kathy Marikn

NOTARY PUBLIC

PRINTED NAME: Kathy Morrison

BLC- OREGON

COMMISSION NO: 378803

MY COMMISSION EXPIRES april

ACKNOWLEDGMENT

STATE OF OREGON

COUNTY OF DESCHUTES

THE FOREGOING INSTRUMENTWAS ACKNOWLEDGED BEFOREMEFREELY AND VOLUNTARILY ON THIS 21 DAY OF December 2004 BY E.R.

Inlie li. t

NOTARY PUBIC

PRINTED NAME wlie A. Best

COMMISSION NO: 378671

MY COMMISSION EXPIRES mAy 1, 2008.

ACKNOWLEDGMENT

STATE OF OREGON ss COUNTY OF hane

ON THIS 2 DAY OF October

THAT (HEYSHE ISA Vice tresident OF LIBERTYBANK

APPEARED Michael R. Stilley, WHO BEING DULY SWORN, STATED WHO IS AUTHORIZED TO EXECUTE THE FOREGOING INSTRUMENT AND ACKNOWLEDGED SAID INSTRUMENT TO BE THE VOLUNTARY ACT AND DEED OF LIBERTYBANK

IHEREBY CERTIFY THAT ALL AD VALOREM TAXES, SPECIAL

WHICH BECAME YET CERTIFIED TO THE TAX COLLECTOR FOR COLLECTION HAVE BEEN PAI

AFTER RECORDING RETURN TO:

Vial Fotheringham LLP

17355 SW Boones Ferry Road, Suite A

Lake Oswego, OR 97035

Stn=2 AS 12/28/2022 11:10 AM

I, Steve Dennison, County Clerk for Deschutes County, Oregon, certify that the instrument identified herein was recorded in the Official Records. Steve Dennison - County Clerk

GRANTOR: Juniper Glen North Homeowners' Association

dba Highland Ridge Homeowners Association

GRANTEE: Public

Unofficial Copy

ASSOCIATION DECLARATION for JUNIPER GLEN NORTH

Pursuant to Section 4, Chapter 67, Oregon Laws 2021 (Recorded under ORS 205.130)

This Association Declaration for Juniper Glen North is made by Juniper Glen North Homeowners' Association dba Highland Ridge Homeowners Association, an Oregon nonprofit corporation ("Association").

RECITALS

A.

B.

Juniper Glen North (the "Community") is a planned community, located in Deschutes County, Oregon. The Community was created by the following documents recorded in the Records of Deschutes County, Oregon:

1. Amendedand Restated Declaration ofCovenants, Conditions, and Restrictions for Juniper Glen North, recorded February 4, 2005 as Document No. 2005-07177 ("Declaration").

2. Bylaws of Juniper Glen North Homeowners' Association, recorded February 4, 2005 as Document No. 2005-07178 ("Bylaws").

3. Plat of Juniper Glen North, recorded December 27, 2004 as Document No. 200477141.

Juniper Glen North Homeowners' Association is formed pursuant to the Declaration and incorporated as an Oregon Nonprofit Corporation by Articles of Incorporation filed September 19, 2007, as Registry No. 464606-97, in the office of the Oregon Secretary of

House Bill 2534 Association Declaration

Juniper Glen North Homeowners' Association

Page 1

State, Corporation Division. The Assumed Business Name of Highland Ridge Homeowners Association was filed with the Oregon Secretary of State, Corporation Division on July 10, 2010, as Registry No. 679205-96.

Unofficial Copy

Section 4 of Chapter 67, Oregon Laws 2021 (House Bill 2534), as amended by Chapter 367, Oregon Laws 2021 (House Bill 3041), requires an association to review each governing document currently binding on the Planned Community, or the lots or lot owners within the Planned Community and to:

(1) Amend or restate each document as necessary to remove all restrictions against the use of the community or the lots not allowed under ORS 93.270 (2); or

(2) Execute and record a declaration that the association has reviewed the governing documents binding on the planned community and that the documents do not contain any restriction, rule or regulation against the use of the community or the lots by a person or group of persons because of race, color, religion, sex, sexual orientation, gender identity, national origin, marital status, familial status, source of income, disability or the number of individuals, including family members, persons of close affinity or unrelated persons, who are simultaneously occupying a dwelling lot within occupancy limits.

In accordance with Section4, Chapter 67, Oregon Laws 2021, as amended by Chapter 367, Oregon Laws 2021, the Board of Directors for the Association has reviewed the governing documents currently binding on the Community or the lots or lot owners within the Community and determined that the governing documents do not contain any restriction, rule or regulation specified in Recital C (2) above.

At a meeting ofthe Board of Directors, the Board of Directors voted to authorize and direct the President and the Secretary to execute this Association Declaration and cause it to be recorded in the Records of Deschutes County, Oregon in accordance with Section 4, Chapter 67, Oregon Laws 2021.

NOW, THEREFORE, the undersigned President and Secretary, on behalf of the Association, certify that, in accordance with Section 4, Chapter 67 Oregon Laws 2021, as amended by Chapter 367 Oregon Laws 2021, the Association has:

1. Reviewed each governing document currently binding on the Planned Community or the lots or lot owners within the Planned Community, and

2. Determined that the governing documents do not contain any restriction, rule or regulation against the use of the Community or the lots by a person or group of persons because of race, color, religion, sex, sexual orientation, gender identity, national origin, marital status, familial status, source of income, disability or the number of individuals, including family members, persons of close affinity or unrelated persons, who are simultaneously occupying a lot within occupancy limits.

DATED: December 20,2022.

2

STATE OF OREGON ) ss.

County of Deschutes

JUNIPER GLEN NORTH HOMEOWNERS' ASSOCIATION dba HIGHLAND RIDGE HOMEOWNERS ASSOCIATION, An Oregon Nonprofit Corporation

2 Secretary oth

The foregoing instrument was acknowledged before me this2o day of December.2022. by Jessica Martin President of Juniper Glen North Homeowners' Association dba Highland Ridge Homeowners Association, an Oregon nonprofit corporation, on its behalf.

OFFICIAL STAMP

ERIN LANAY BATHKE NOTARY PUBLIC-OREGON COMMISSION NO.995833

MY COMMISSION EXPIRES JANUARY 23, 2024

Unofficial Copy

STATE OF OREGON

County ofDeschutes ) SS.

Notary Public for Oregon

The foregoing instrument was acknowledged before me this 28 day of December, 2022, by Kathryn Kundmueller. Secretary of Juniper Glen North Homeowners Association dba Highland Ridge Homeowners Association, an Oregon nonprofit corporation, on its behalf.

OFFICIAL STAMP

ERIN LANAY BAT NOTARY PUBLIC-OREGON COMMISSION NO.995833

MY COMMISSION EXPIRES JANUARY23, 2024

Notary Public for Oregon

Turn static files into dynamic content formats.

Create a flipbook
Issuu converts static files into: digital portfolios, online yearbooks, online catalogs, digital photo albums and more. Sign up and create your flipbook.